Model Performance Report

Accuracy Summary

Model Accuracy
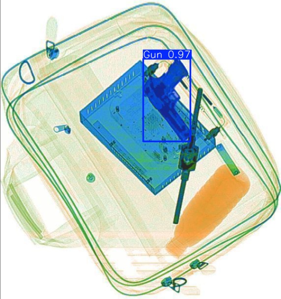
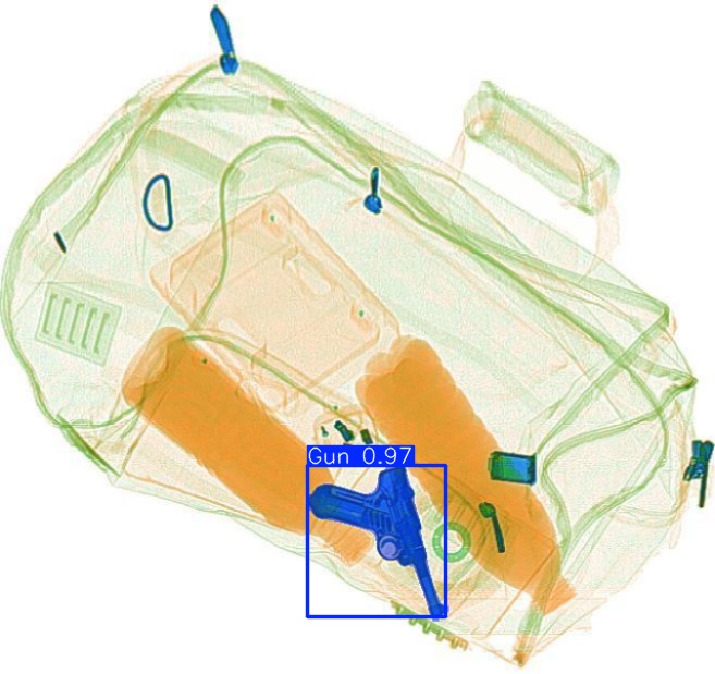
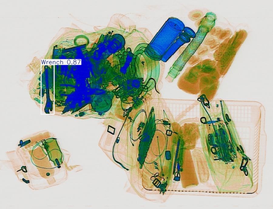
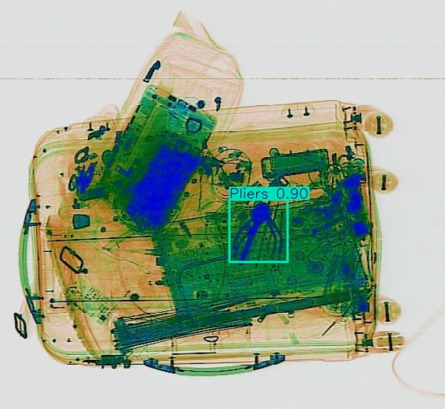
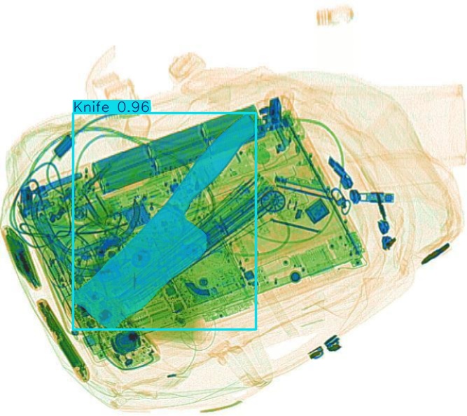
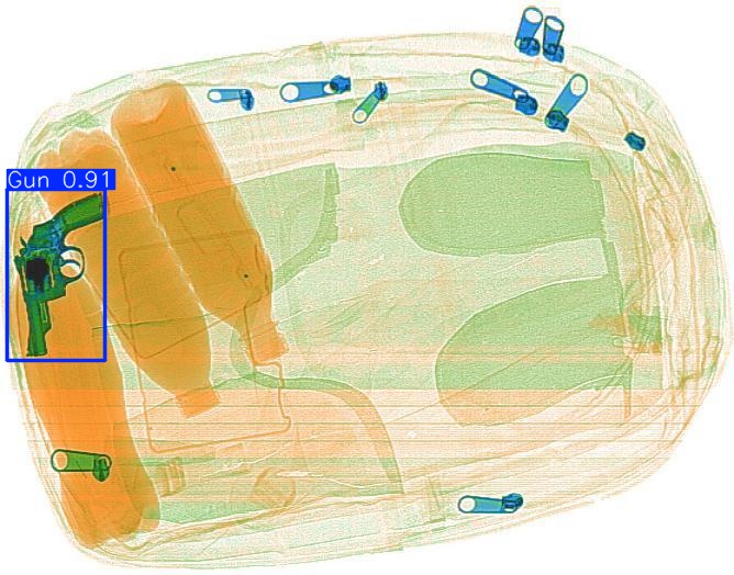
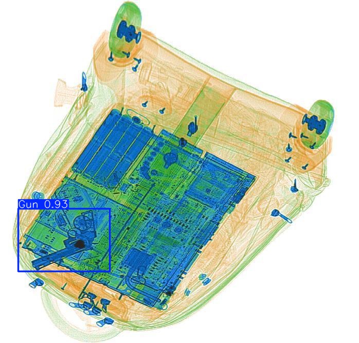
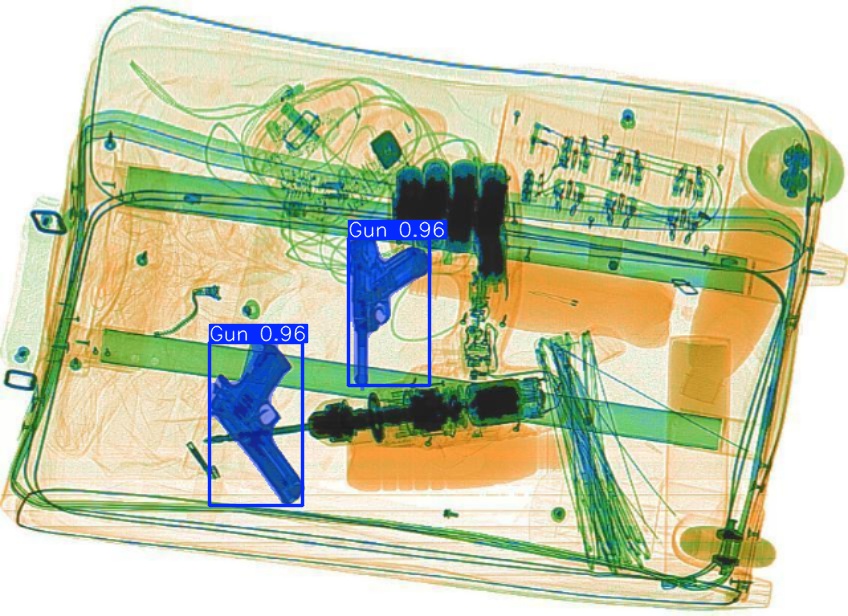
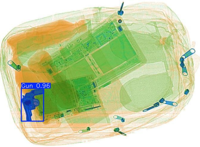
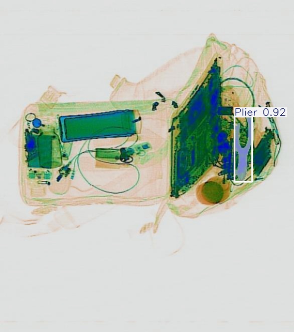
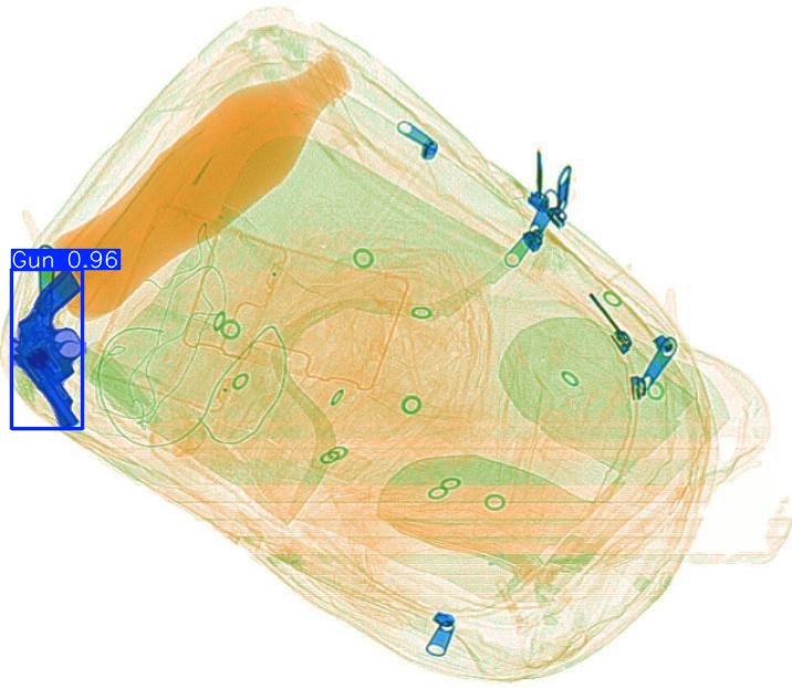
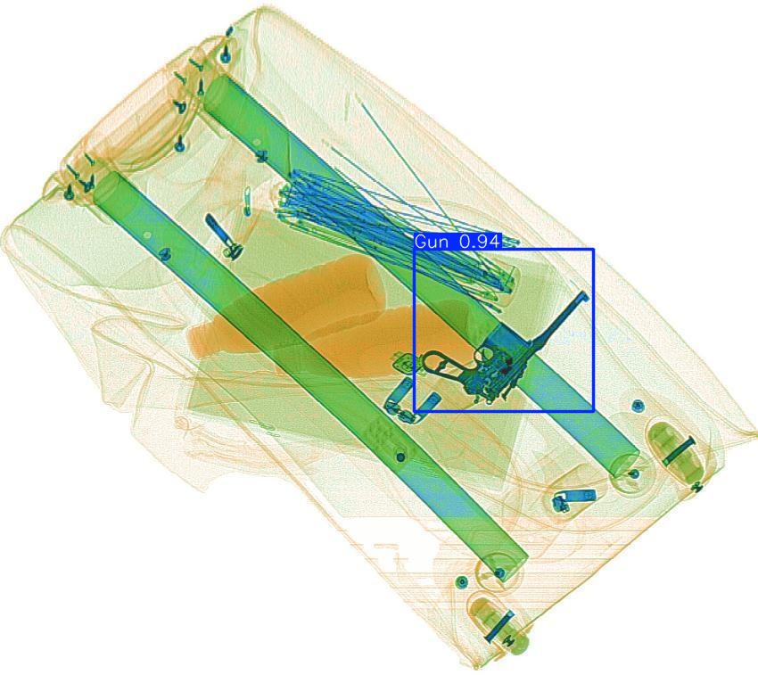
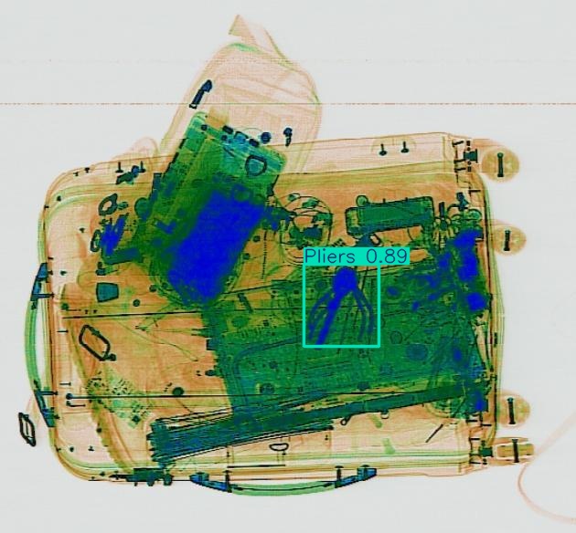
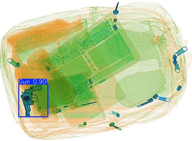
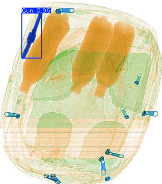
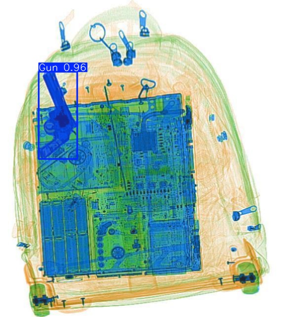
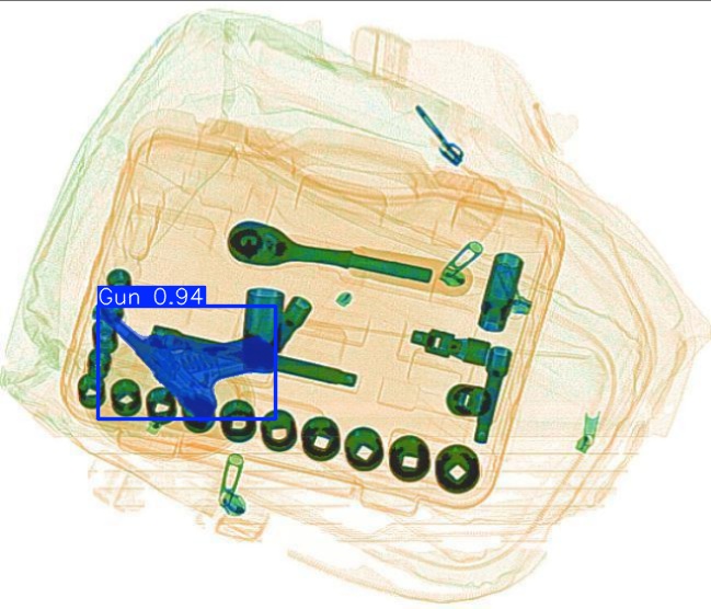
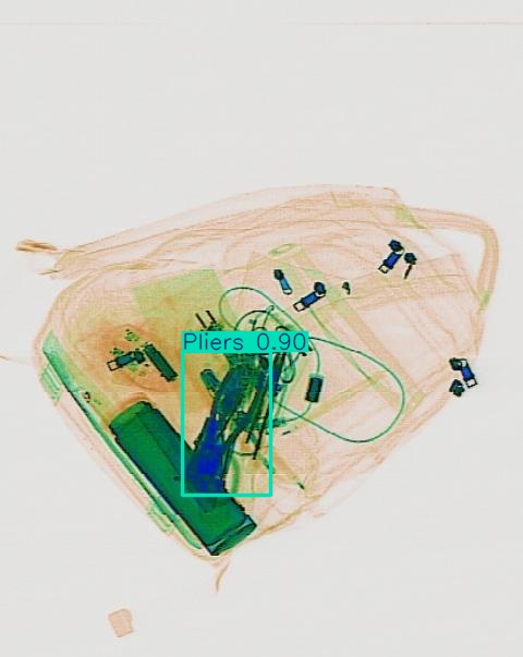
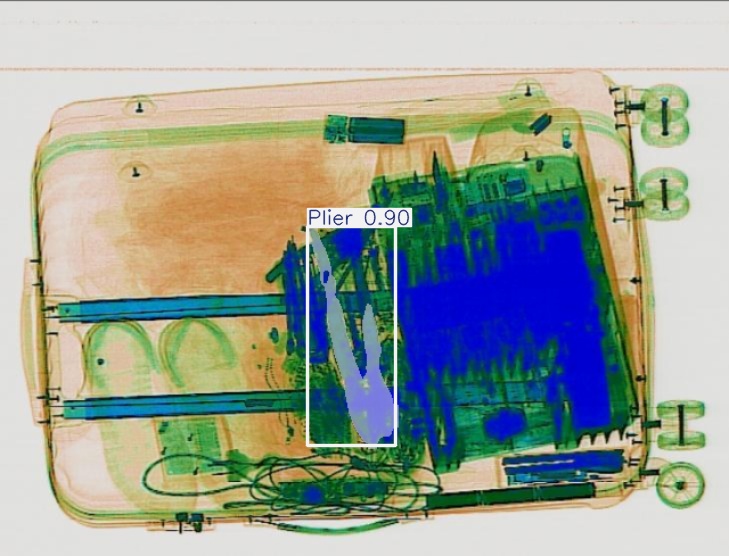
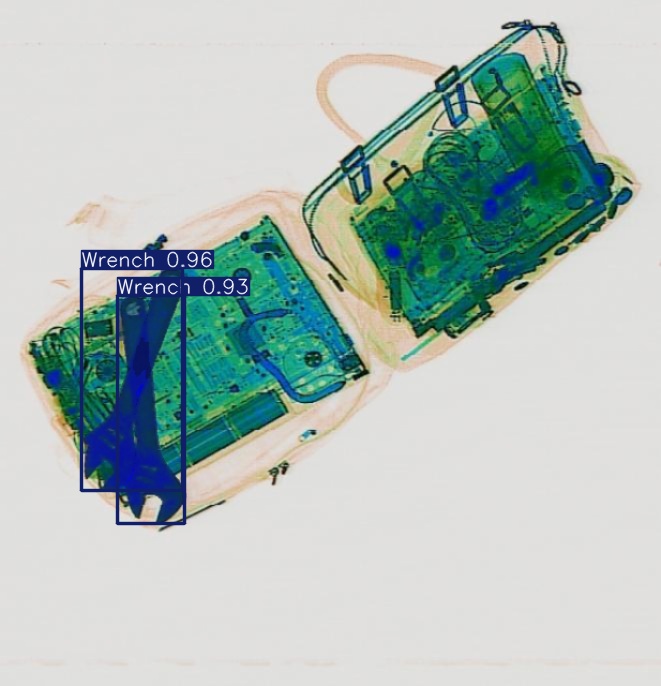
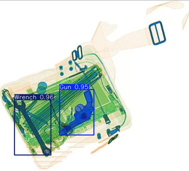
Box_v11_medium_train_SIXray_OPIXray 90.02%
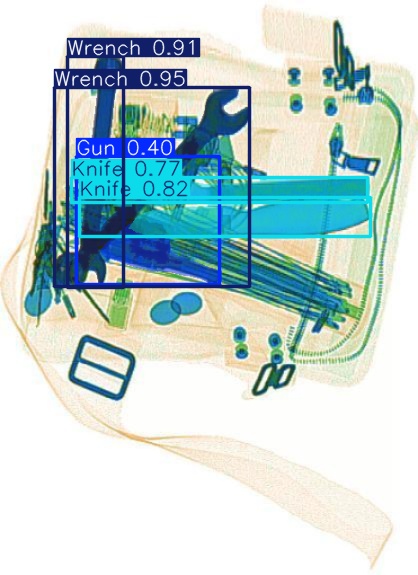
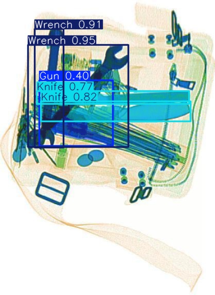
DN_Medium_300_yolov8m_20t7_new 18.43%
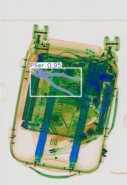
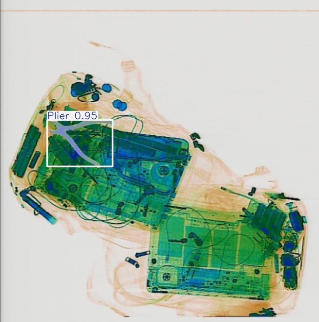
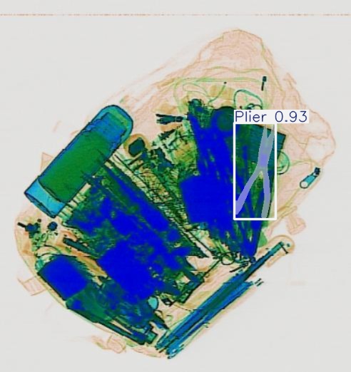
Segmentatation_v8_medium_train_250 61.47%
Segmentation_V11_large_300_train_300 61.56%
Segmentation_v8_large_300_train_300 61.41%

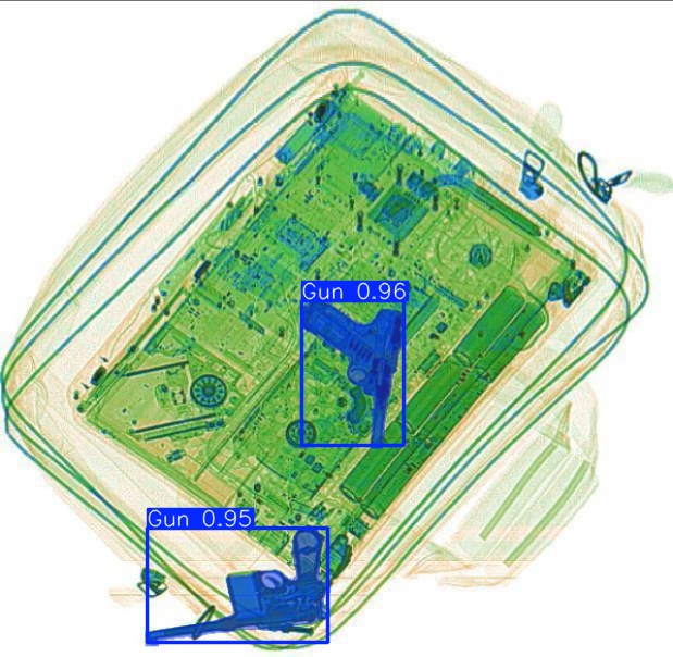
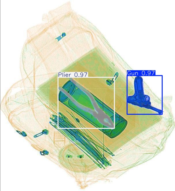
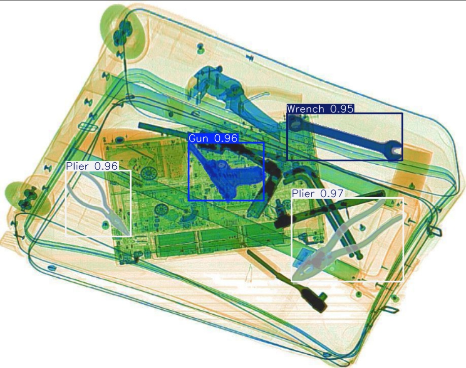
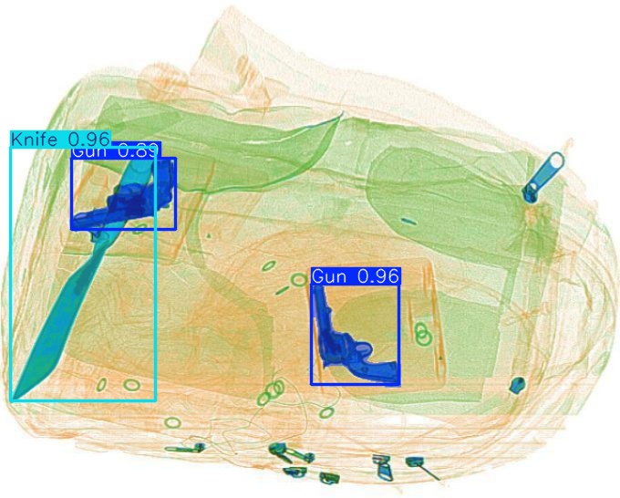
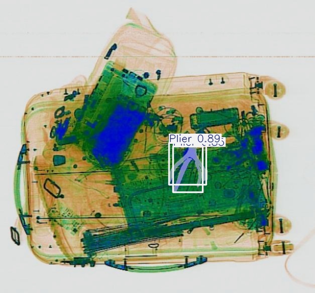
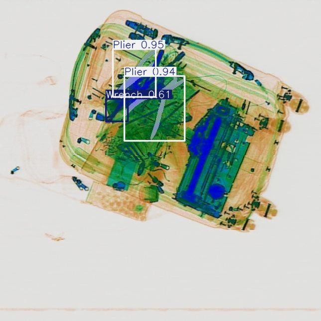
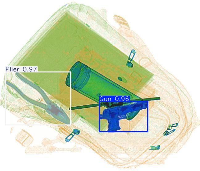
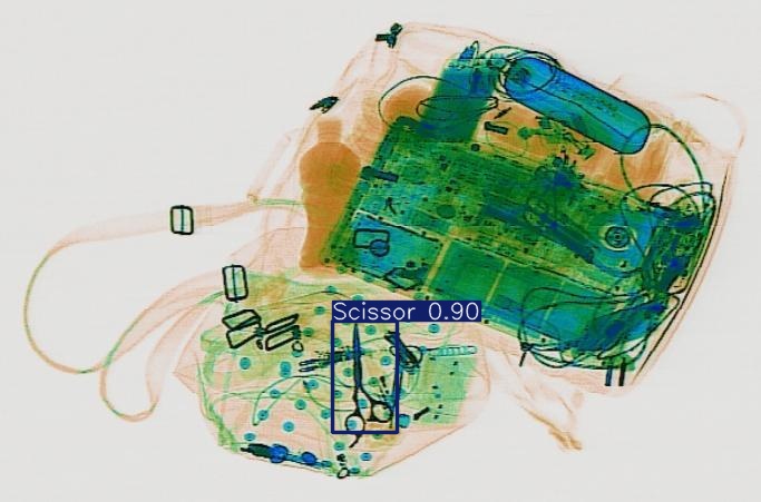
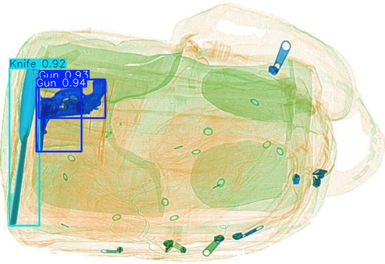
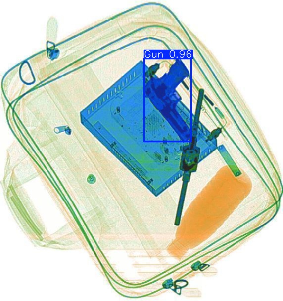
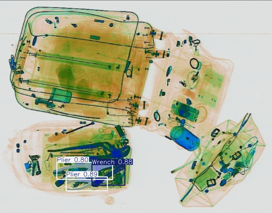
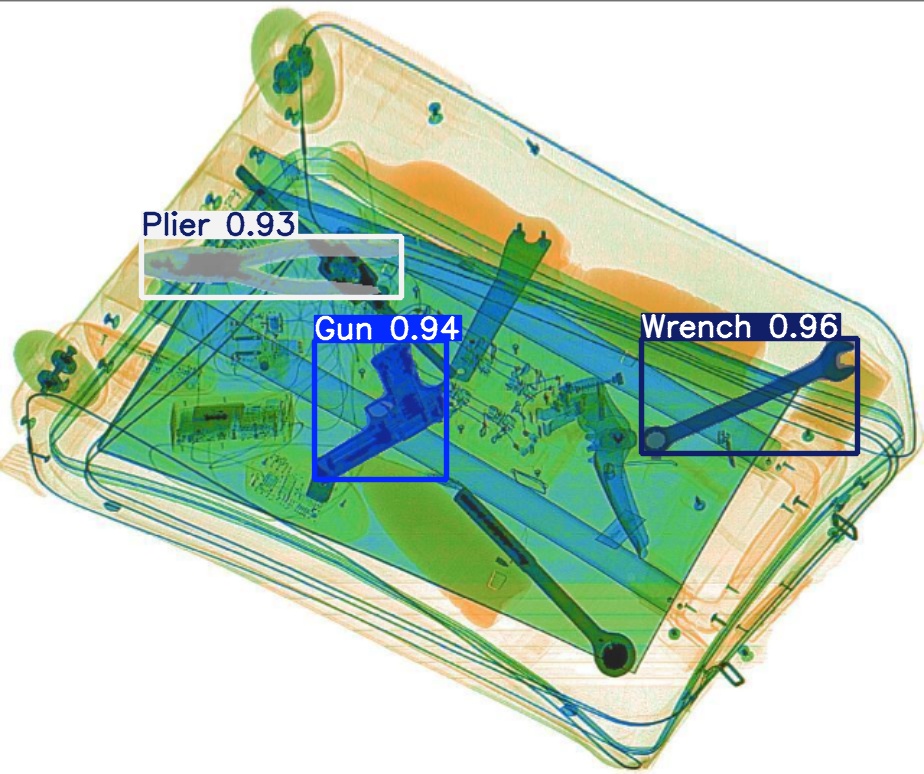
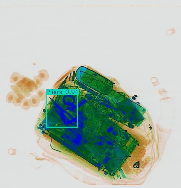
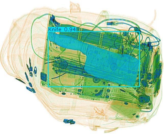
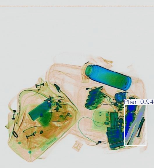
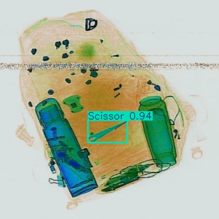
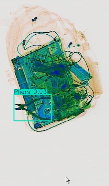
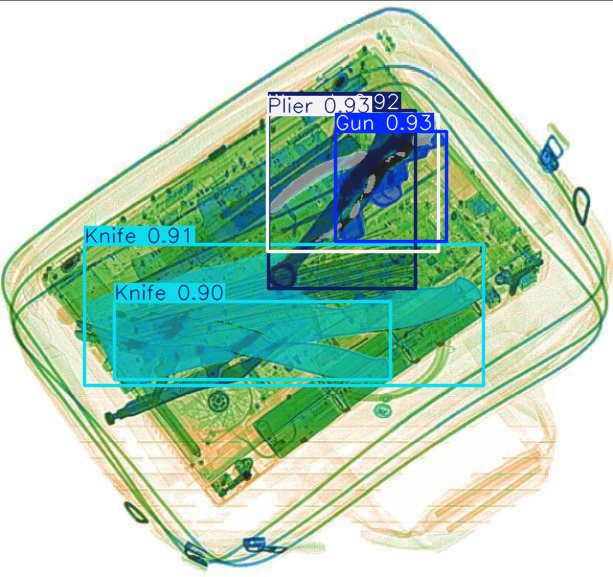
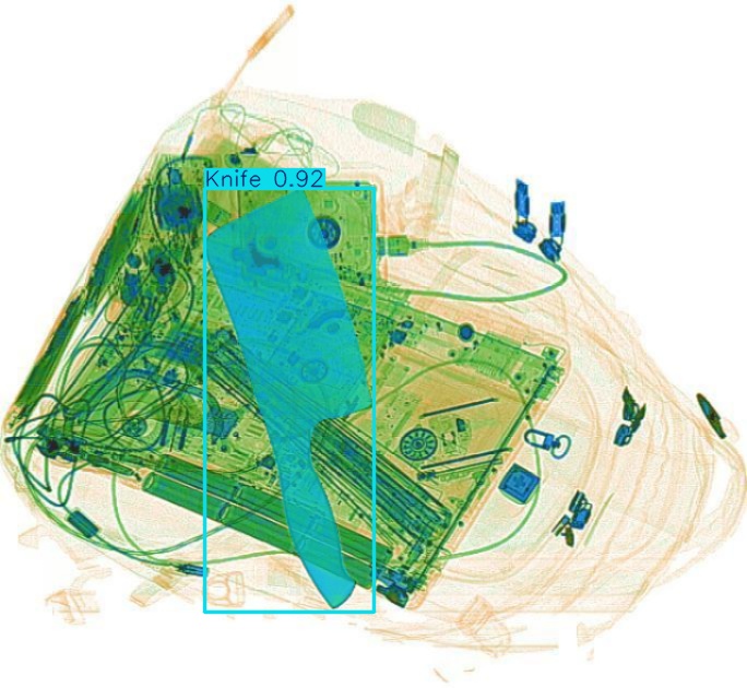
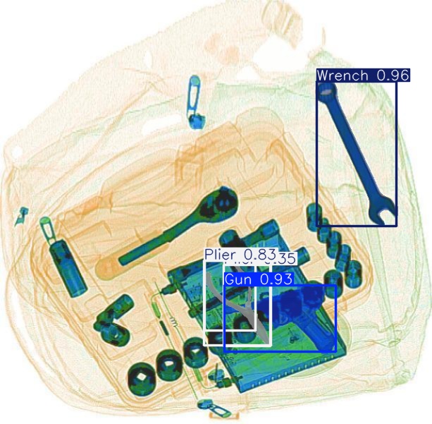
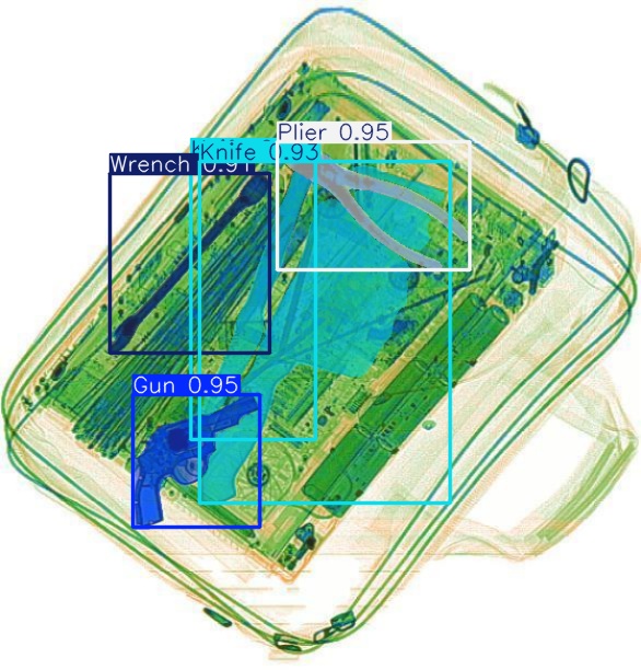
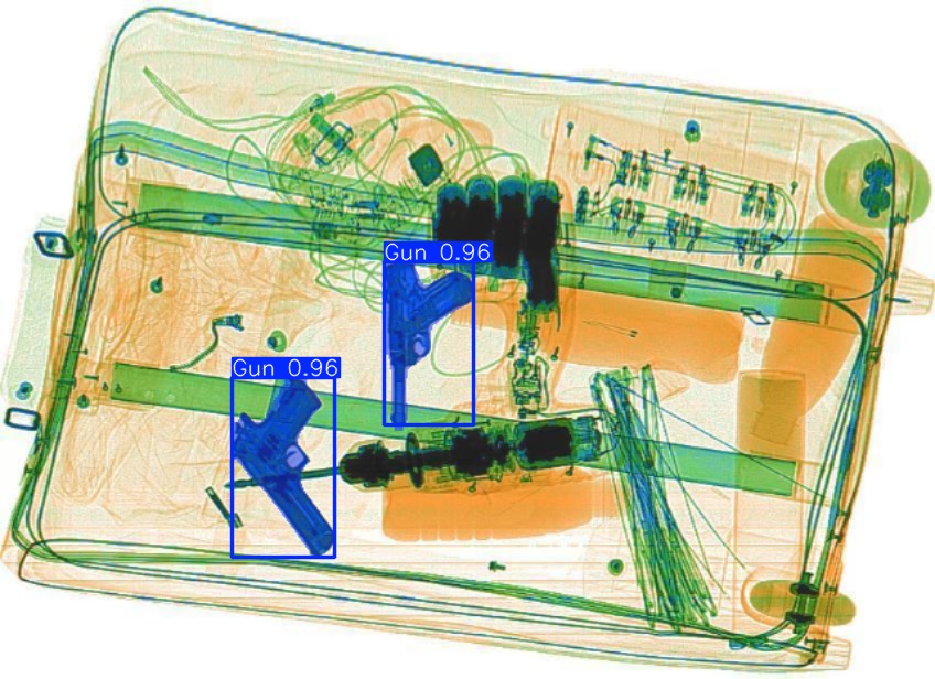
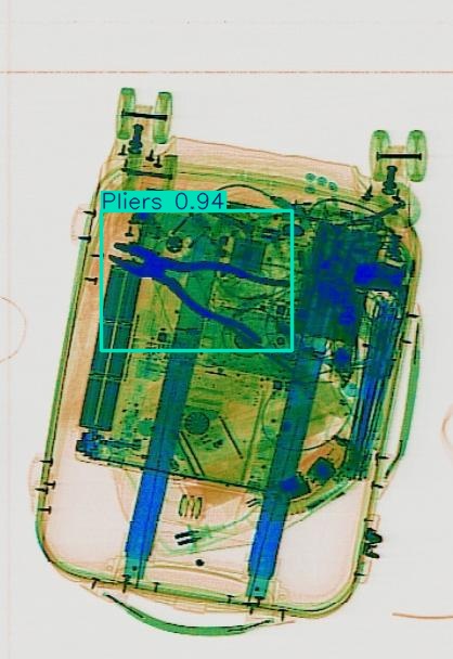
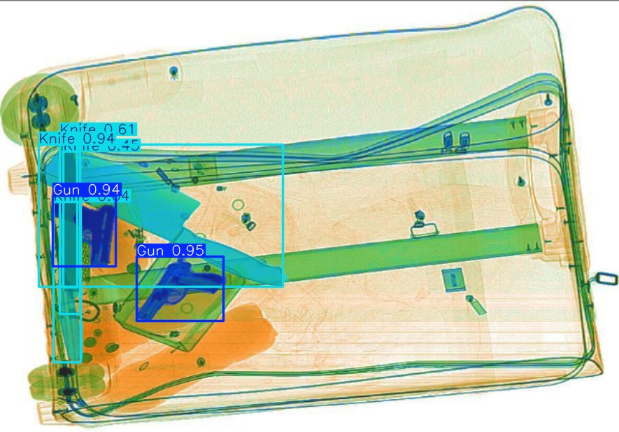
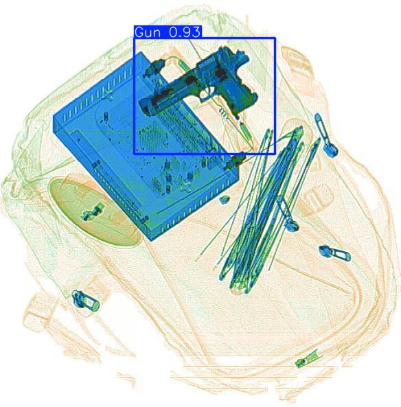
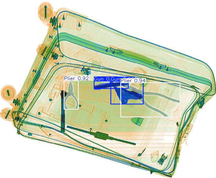
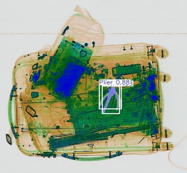
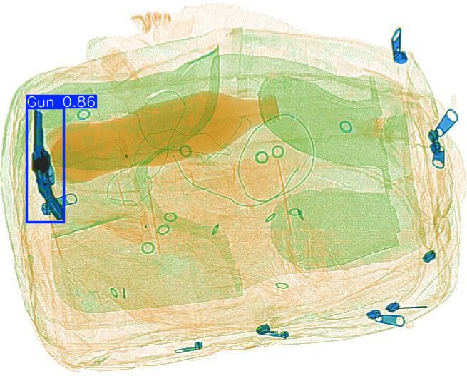
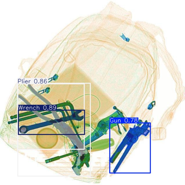
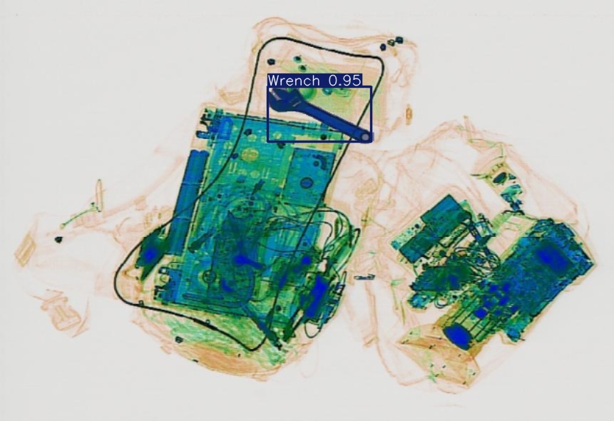
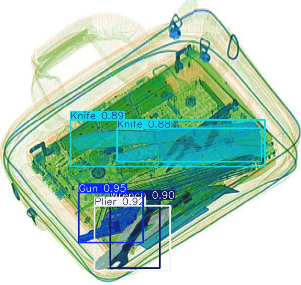
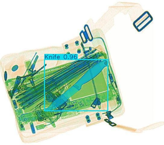
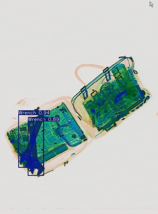
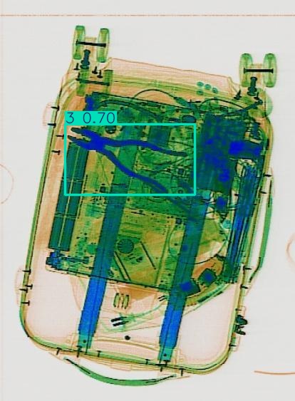
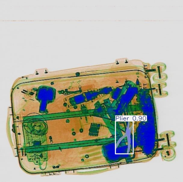
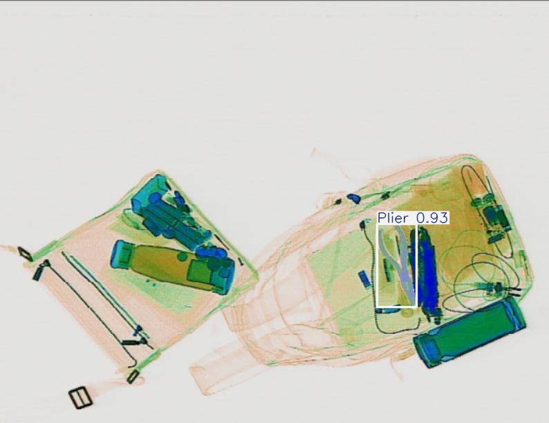
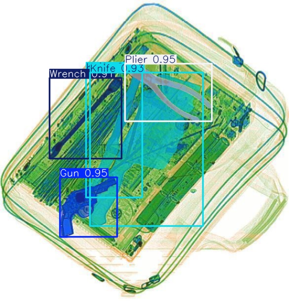
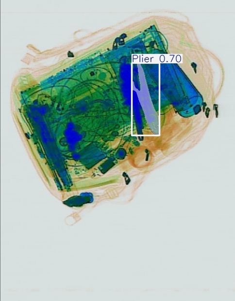
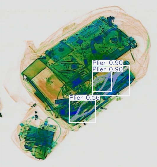
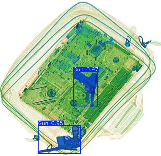
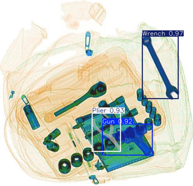
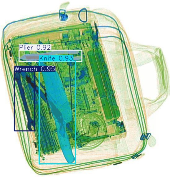
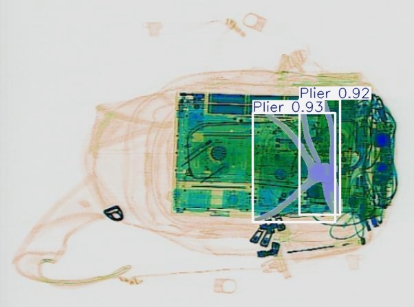
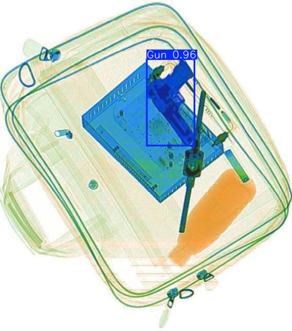
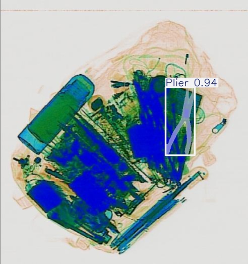
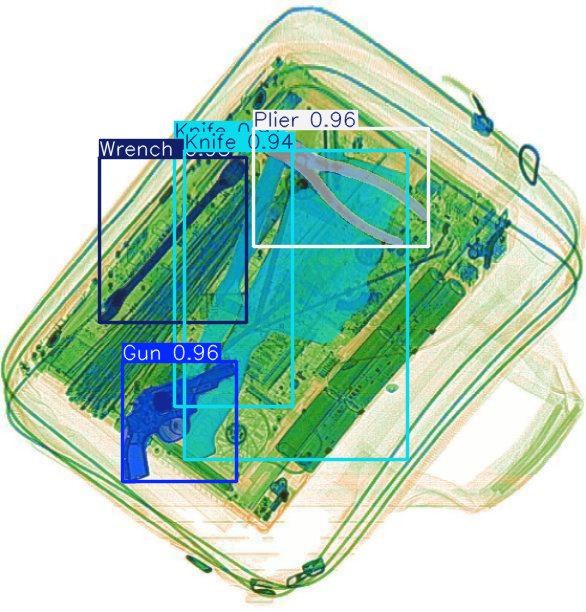
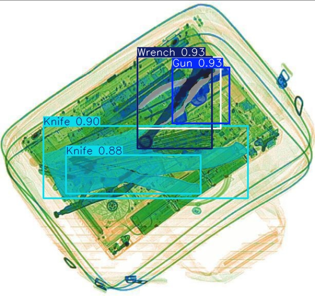
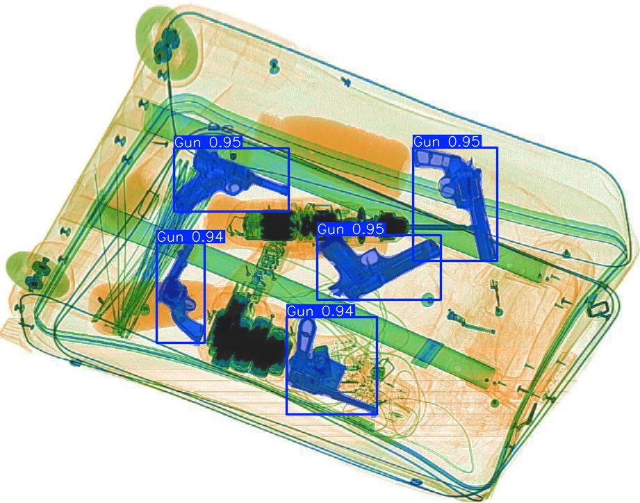
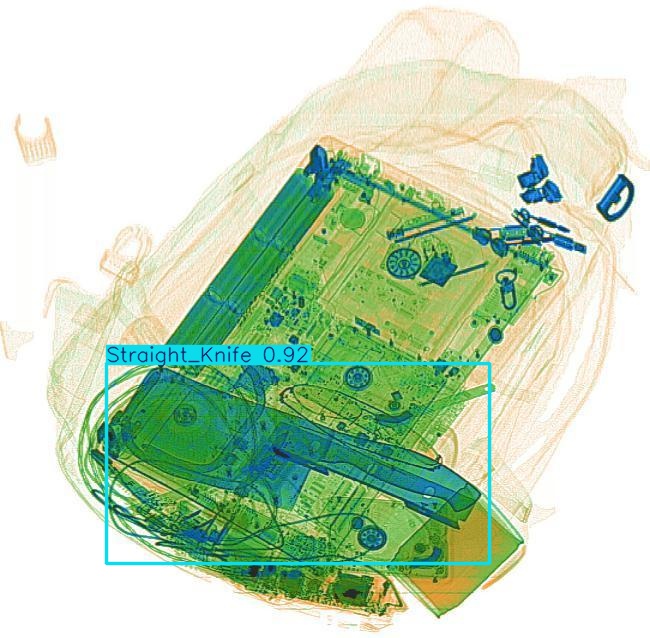
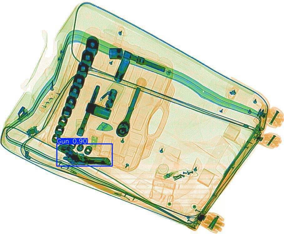
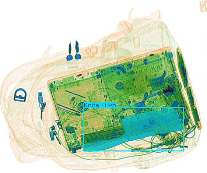
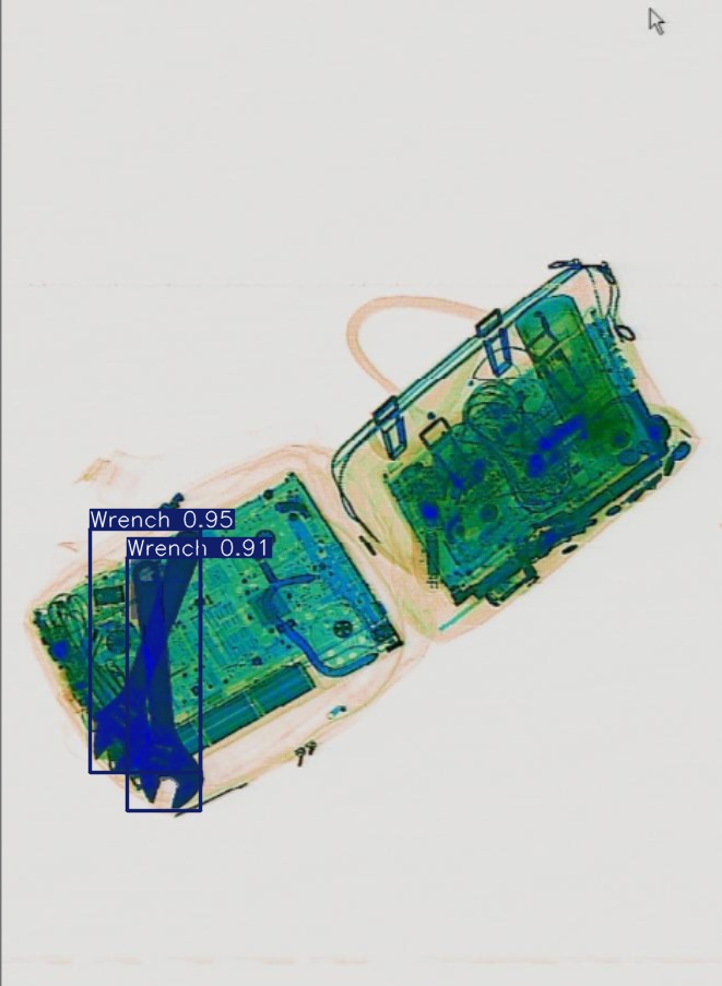
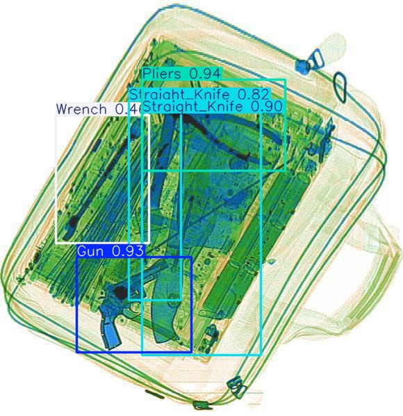
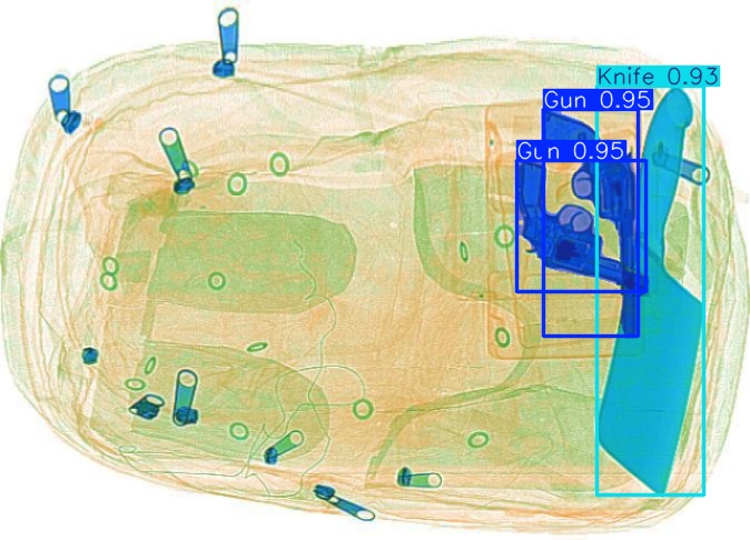
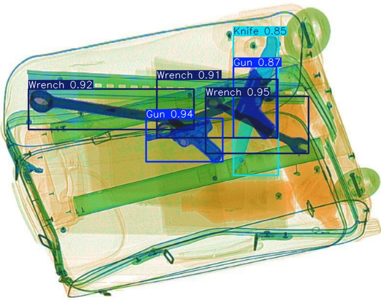
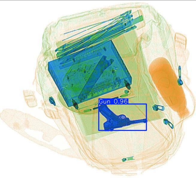
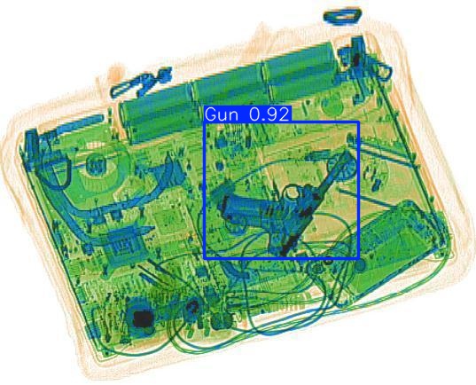
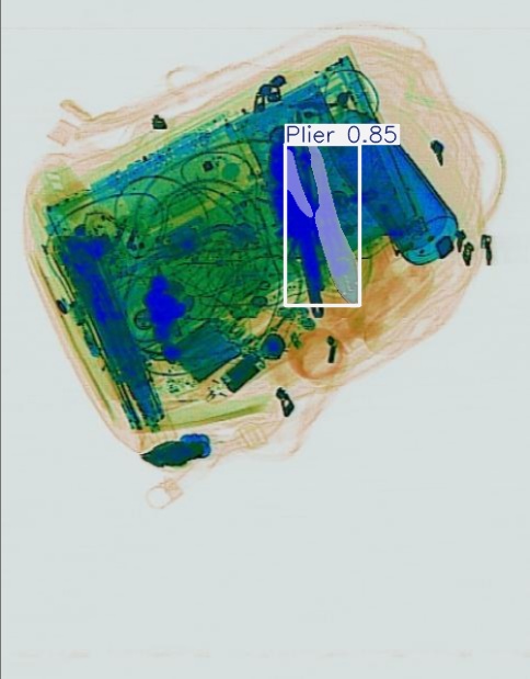
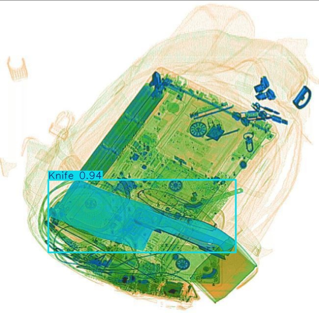
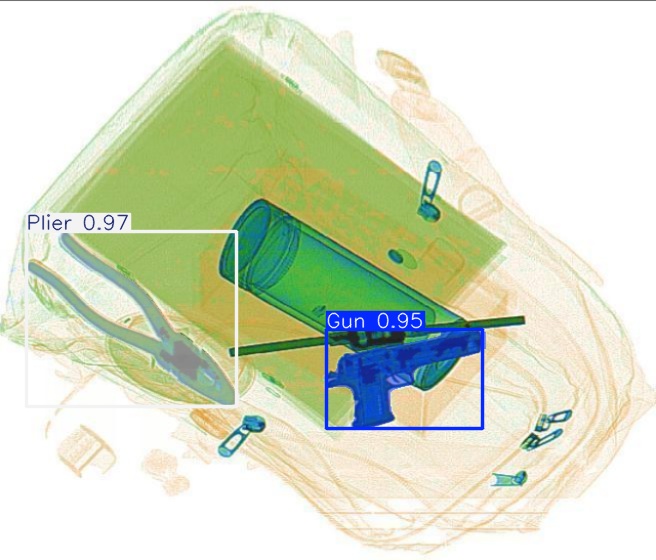
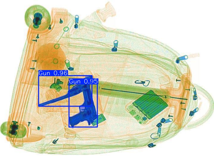
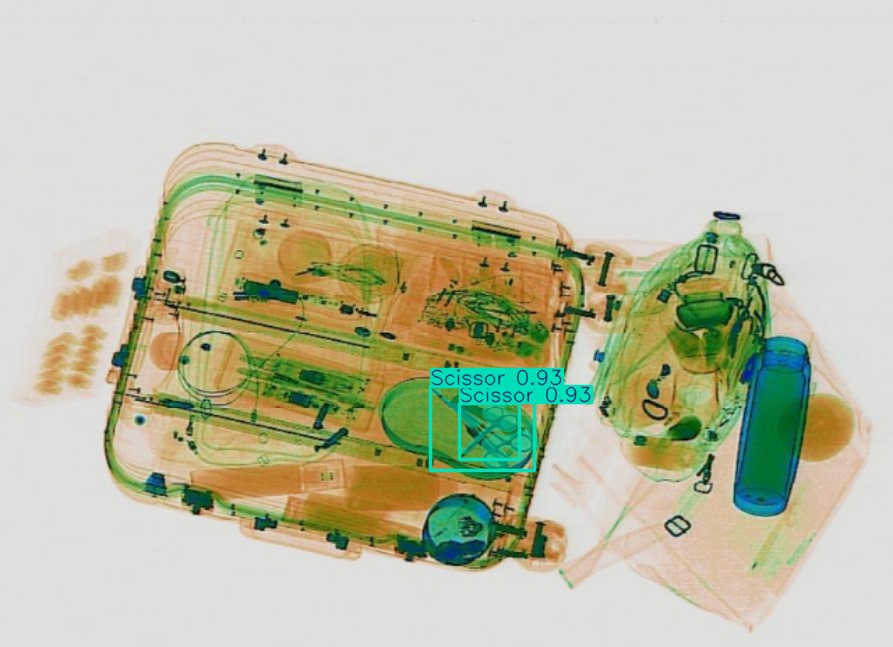
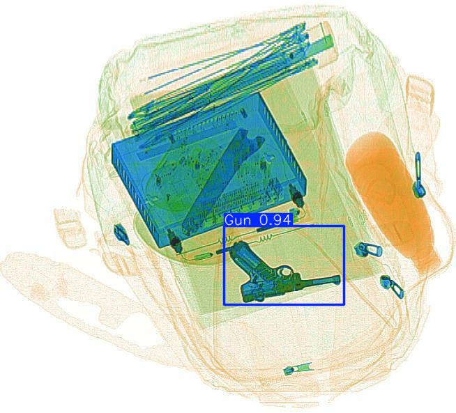
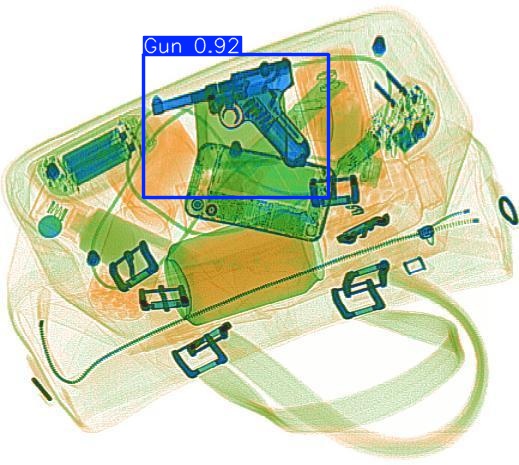
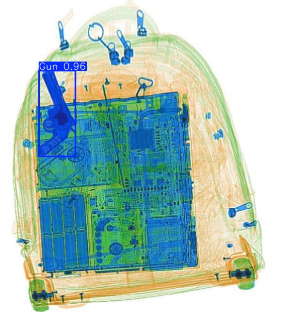
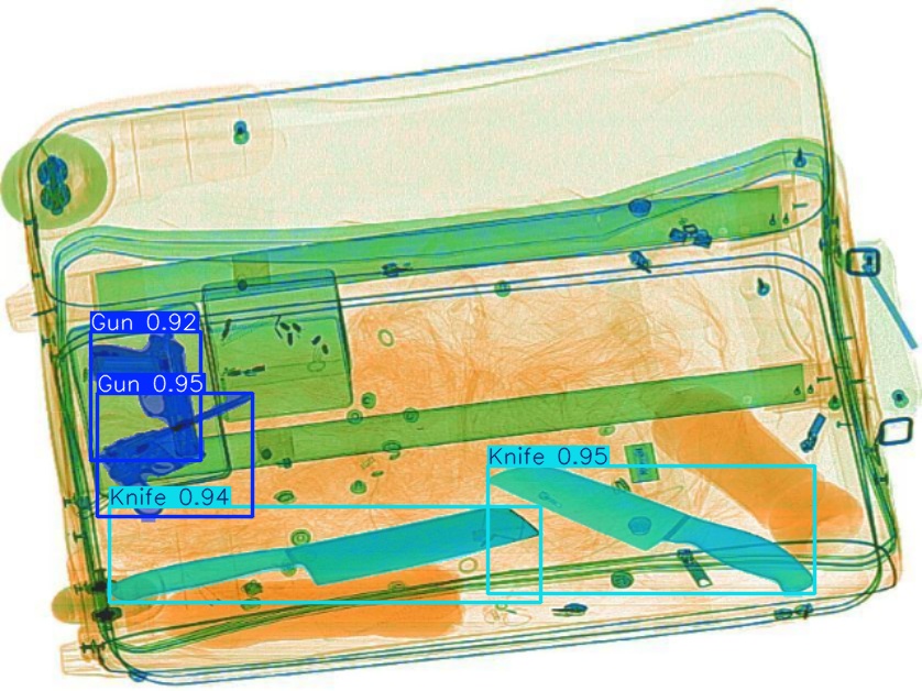
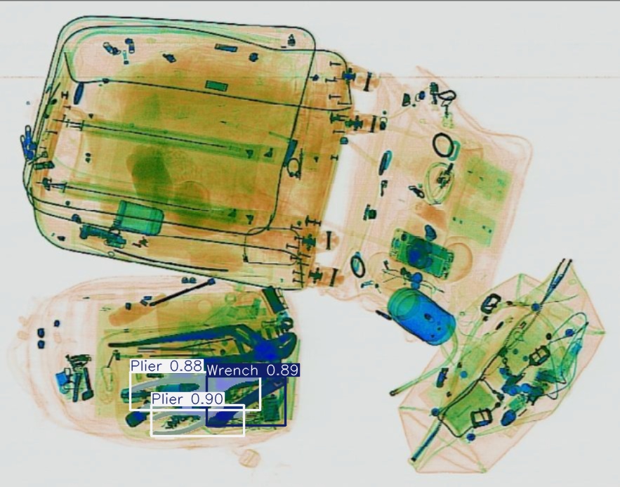
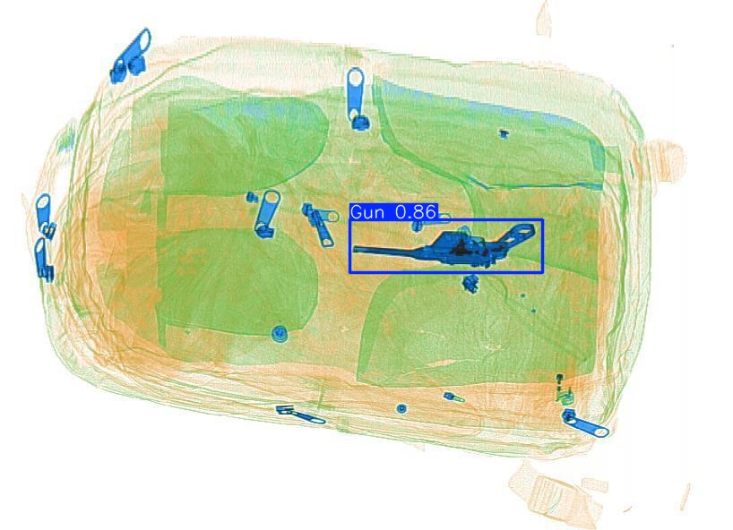
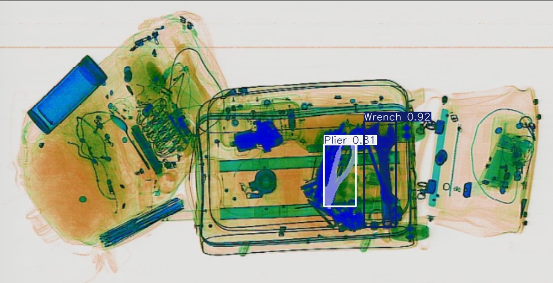
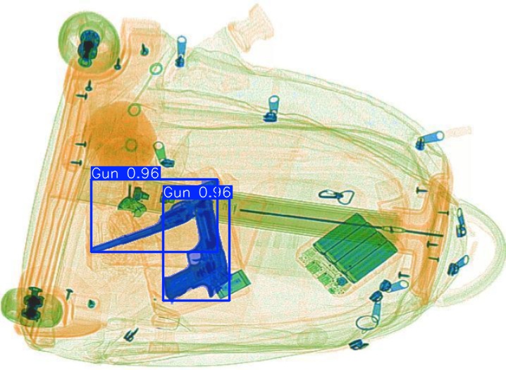
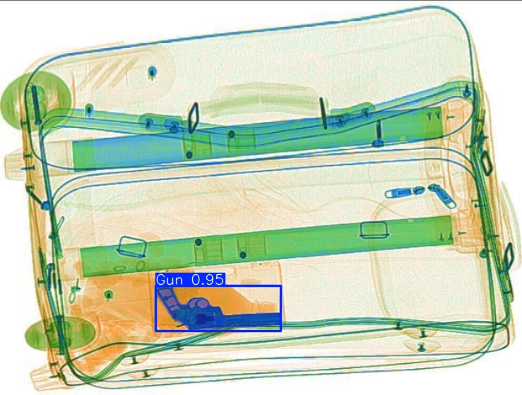
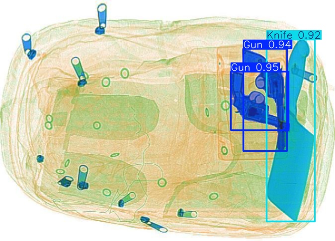
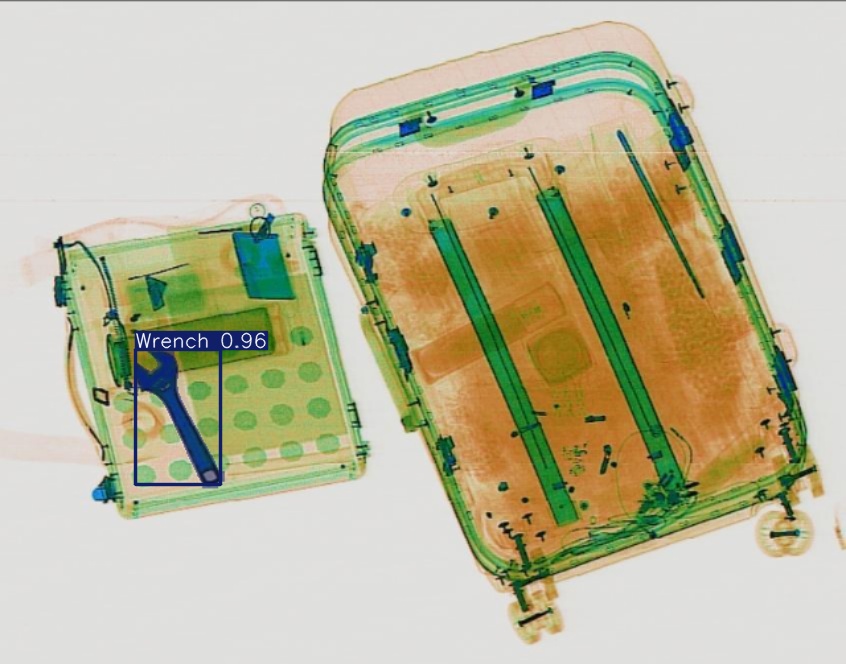
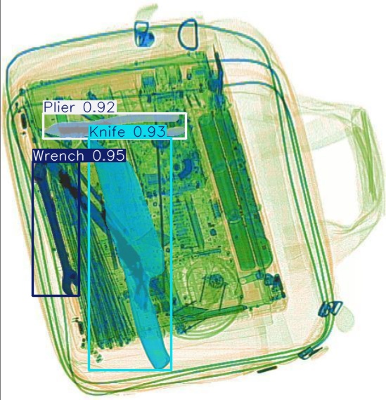
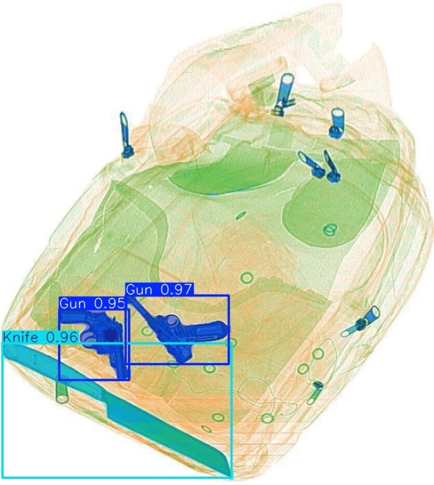
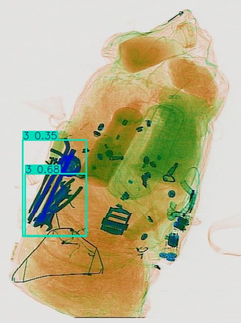
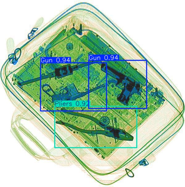
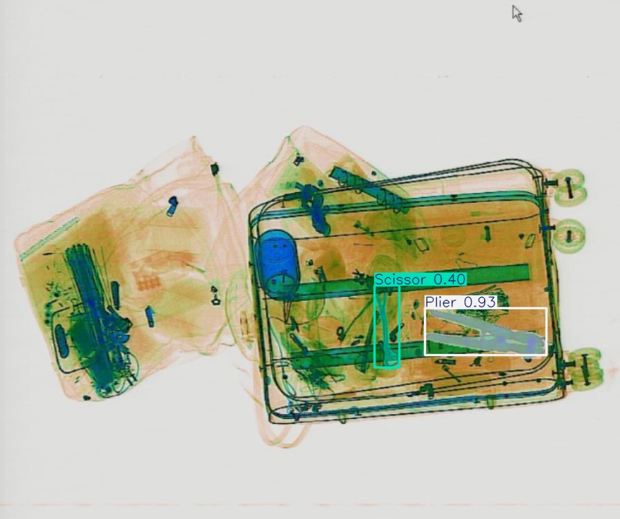
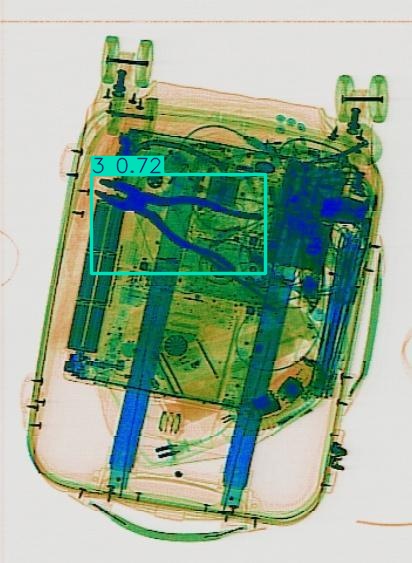
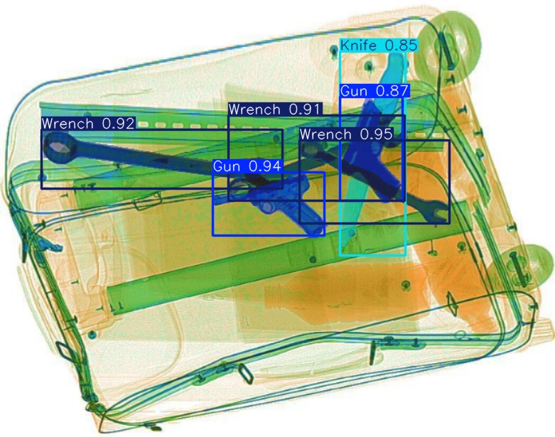
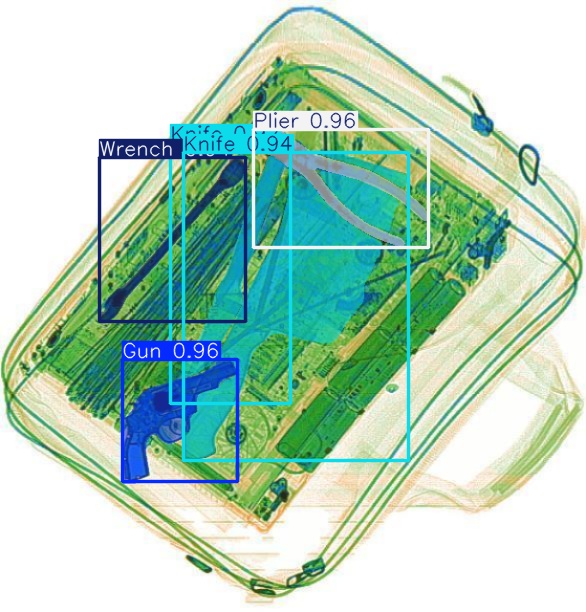
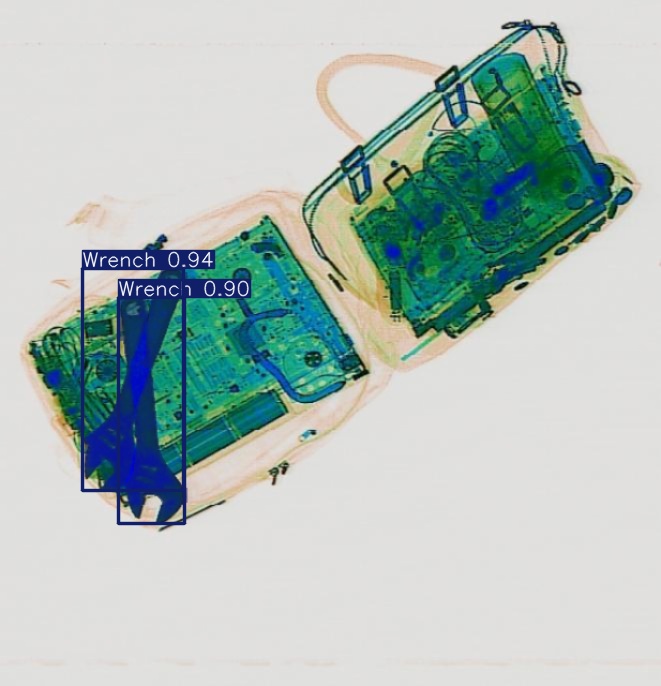
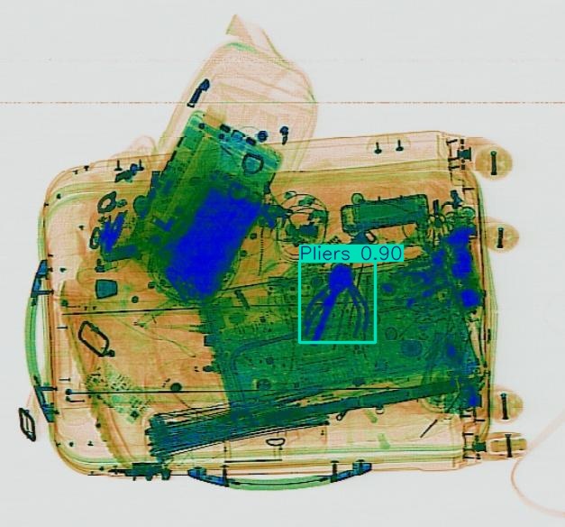
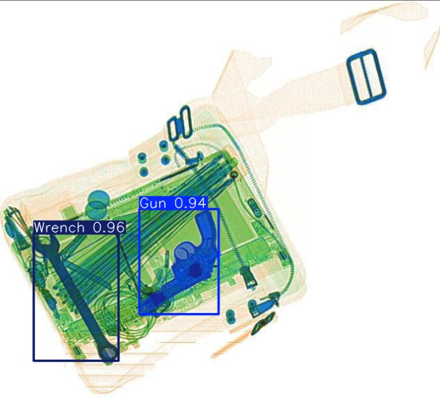
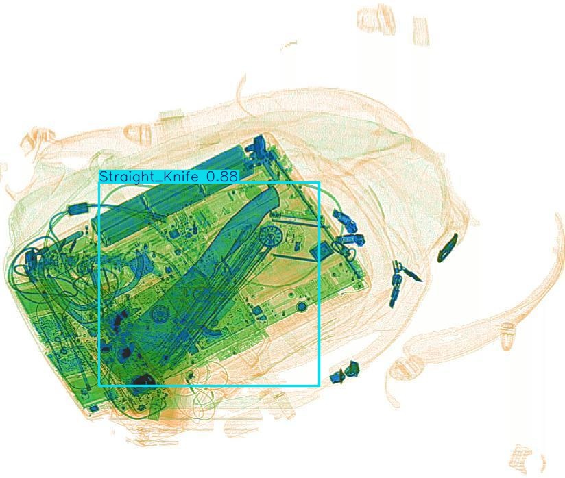
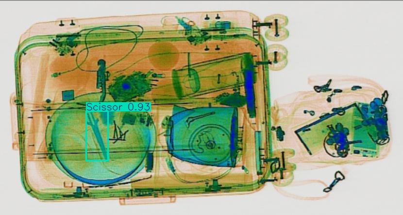
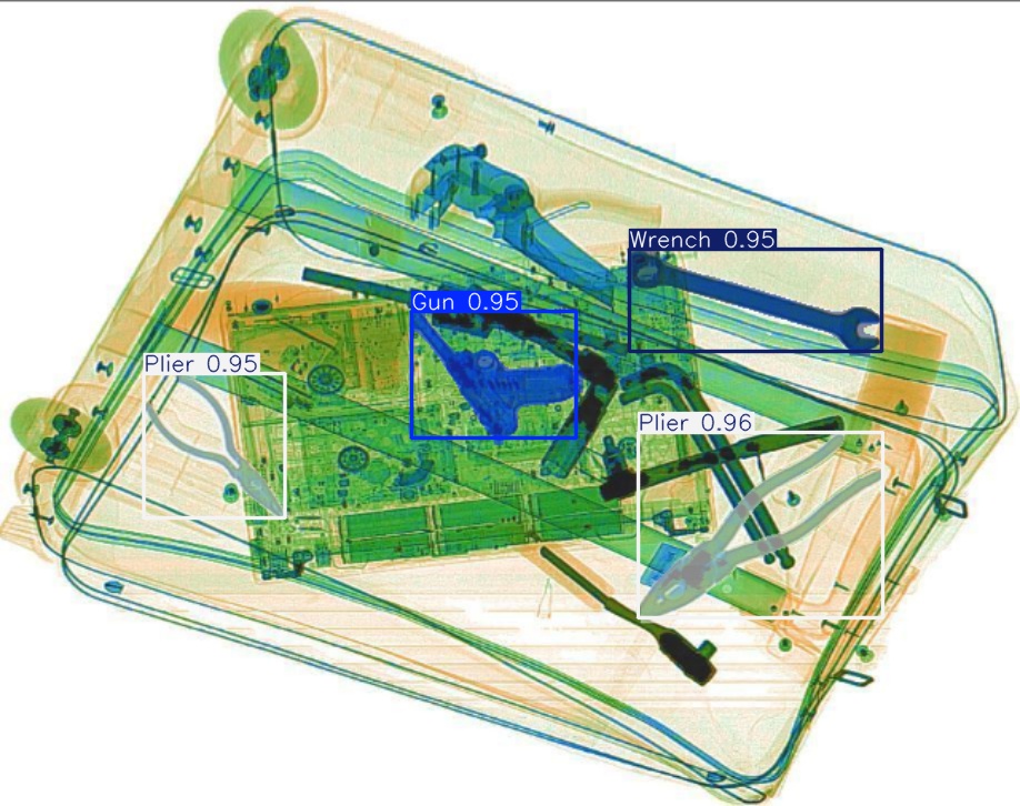
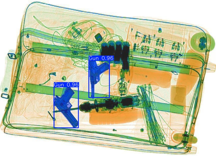
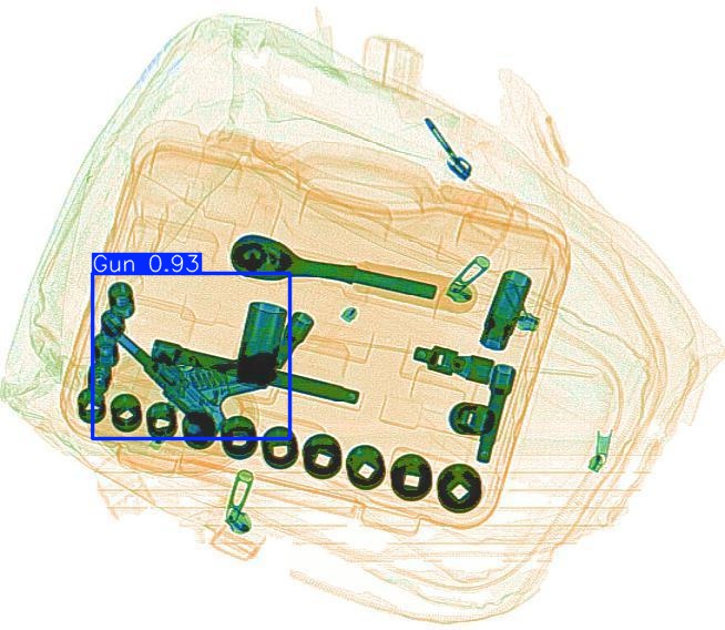
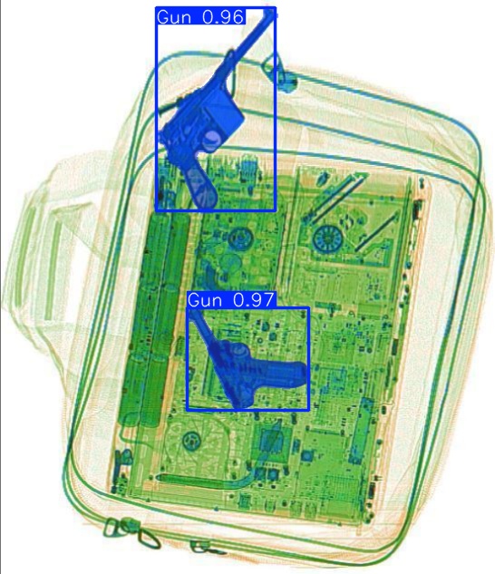
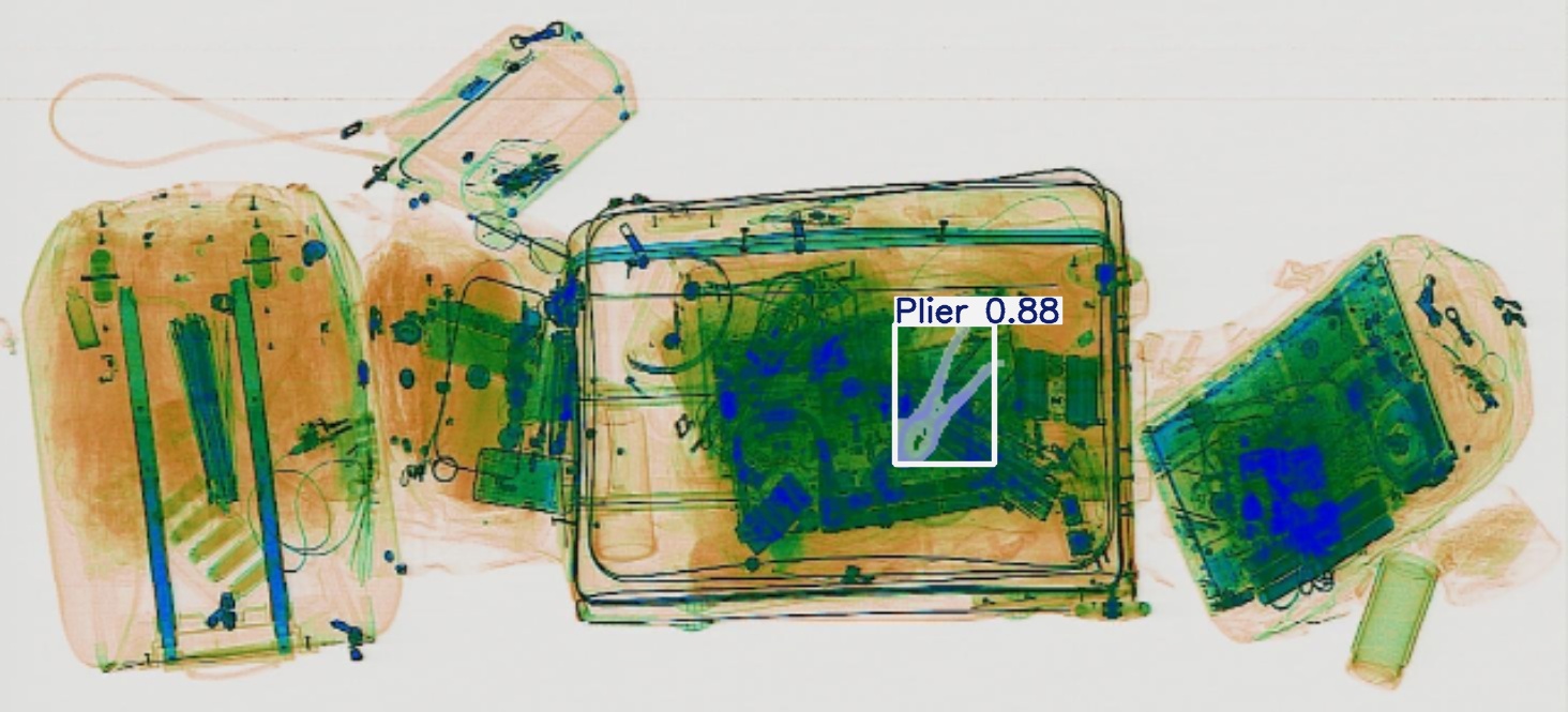
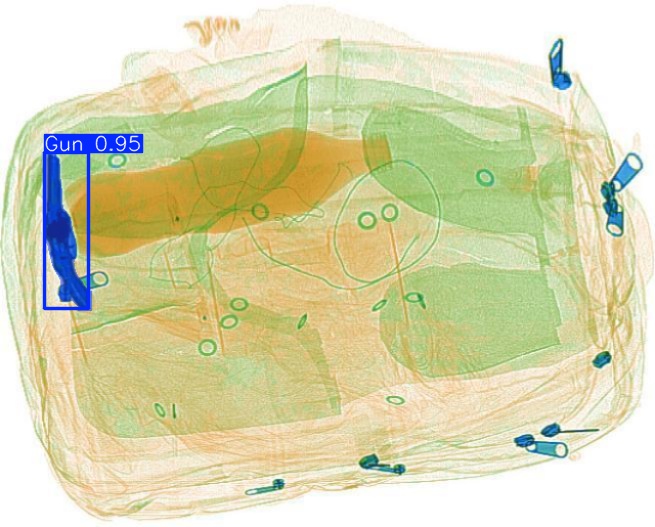
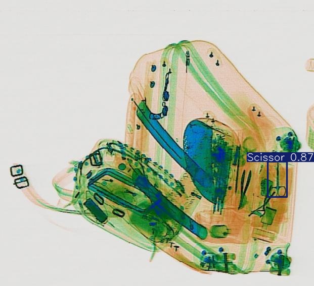
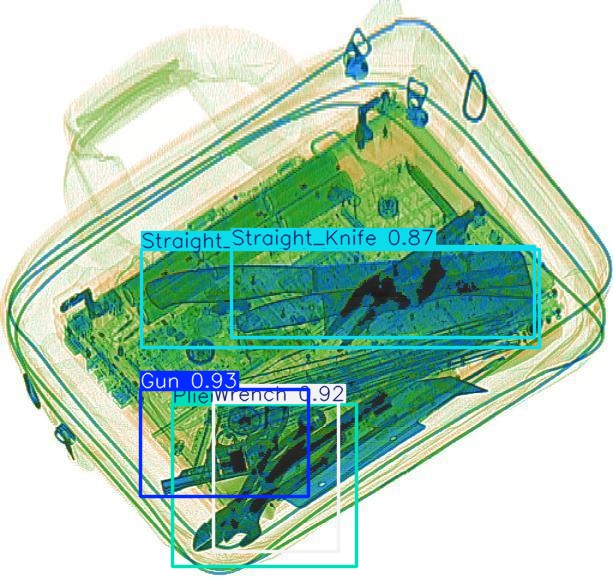
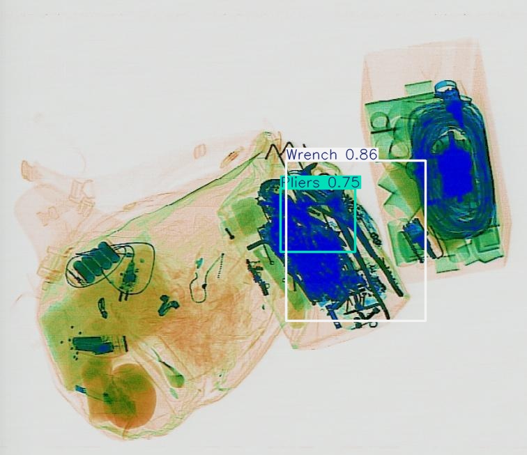
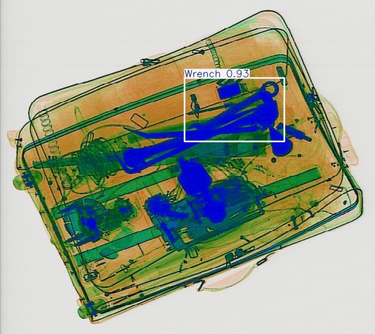
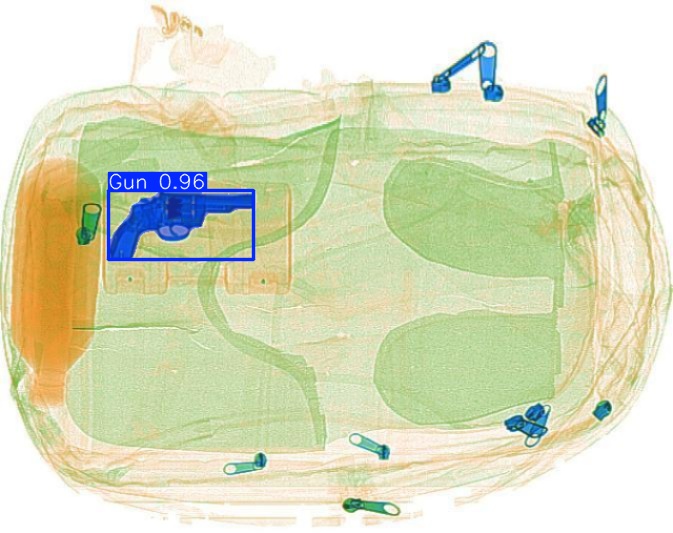
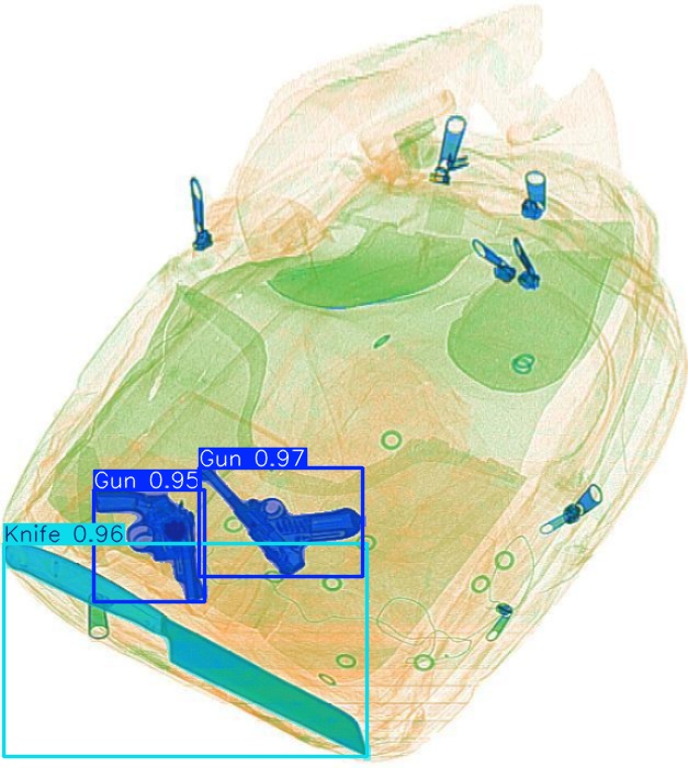
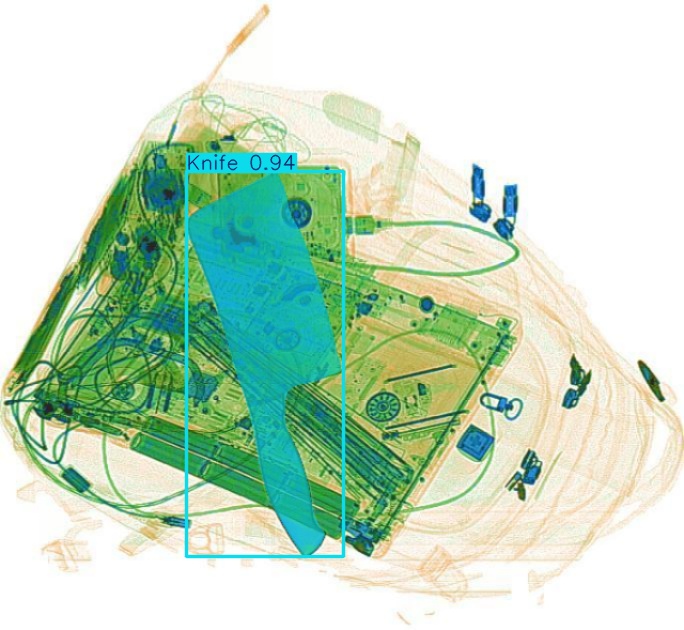
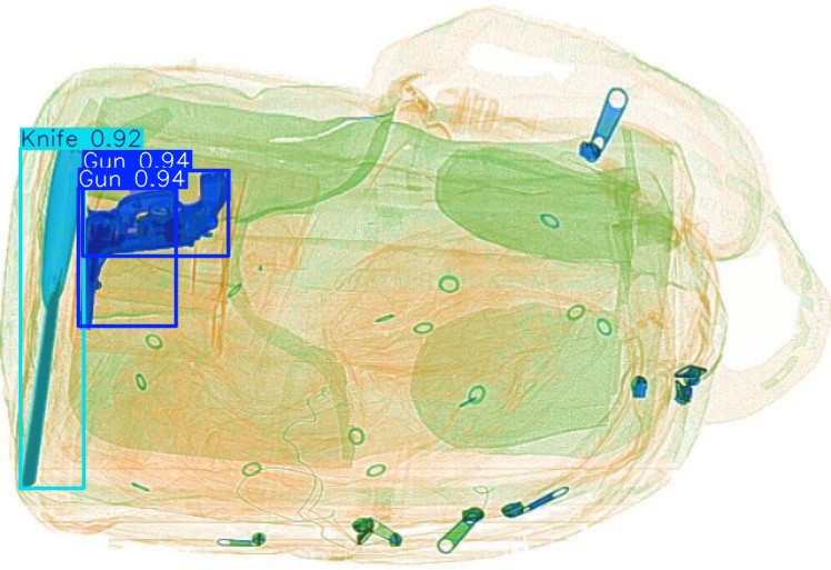
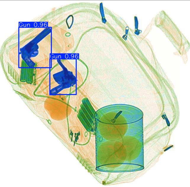
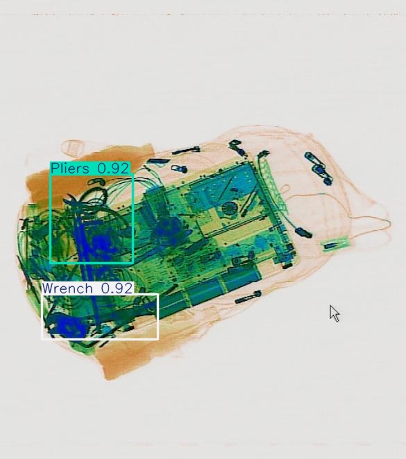
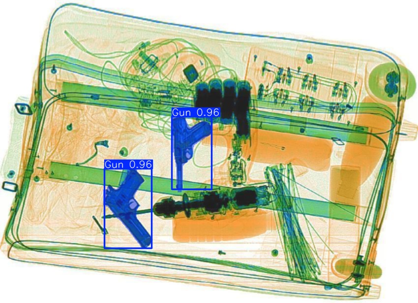
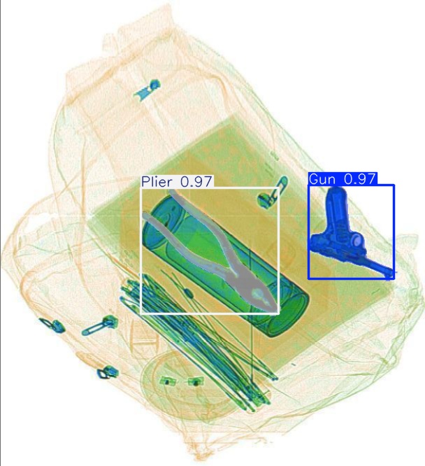
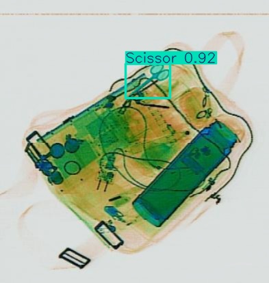
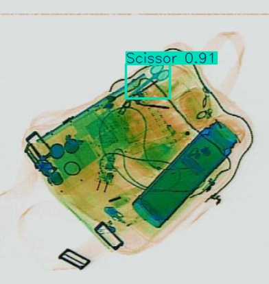
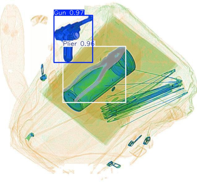
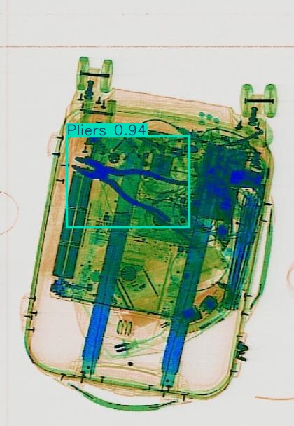
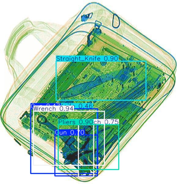
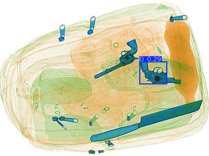
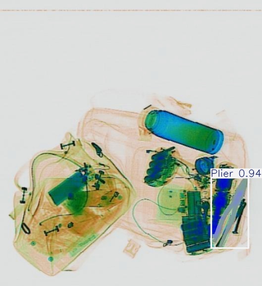
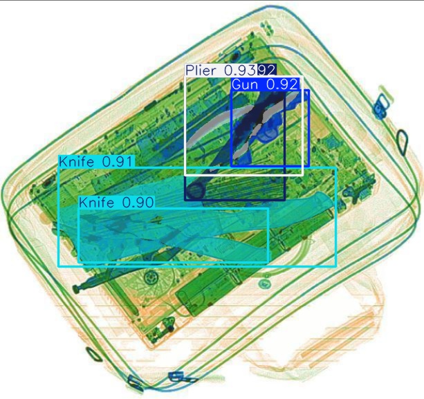
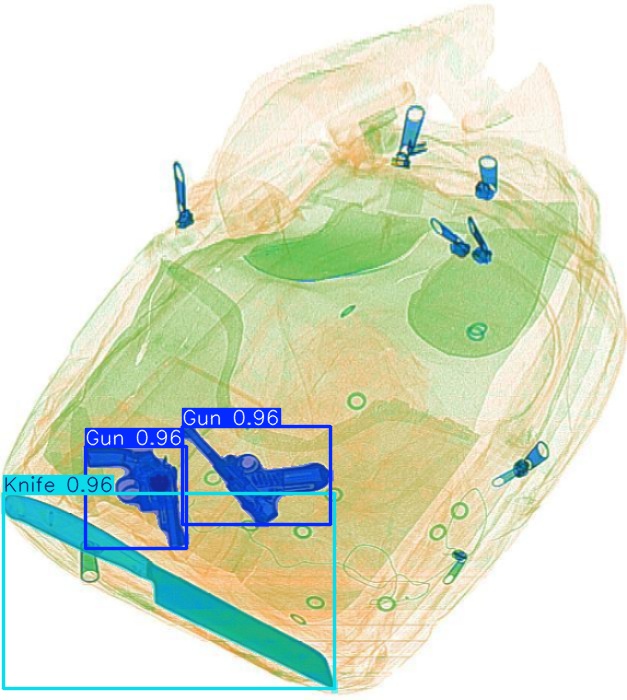
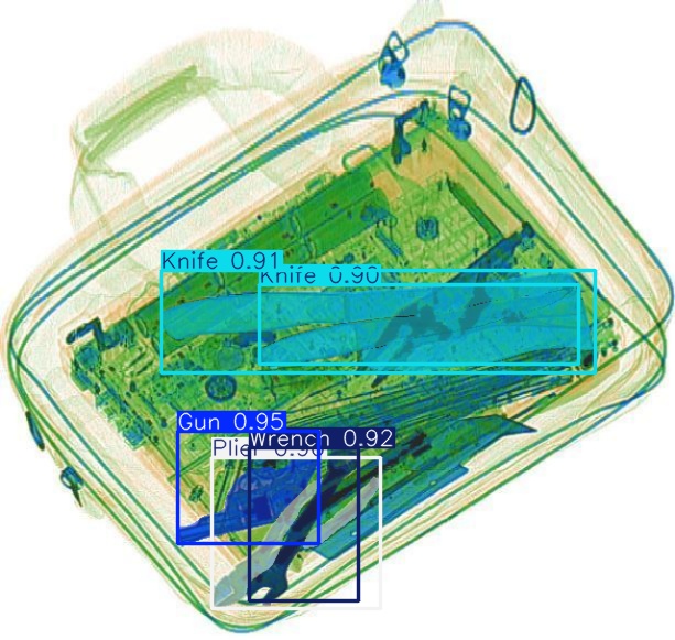
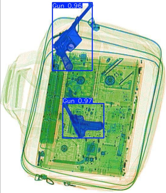
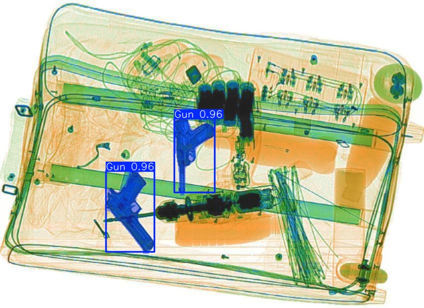
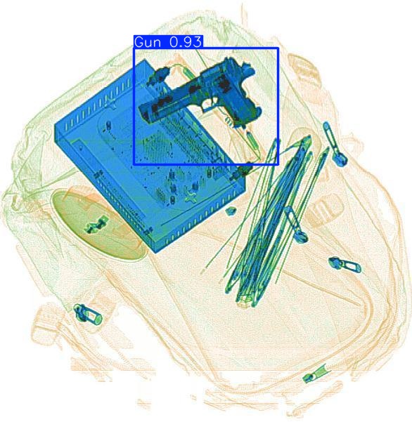
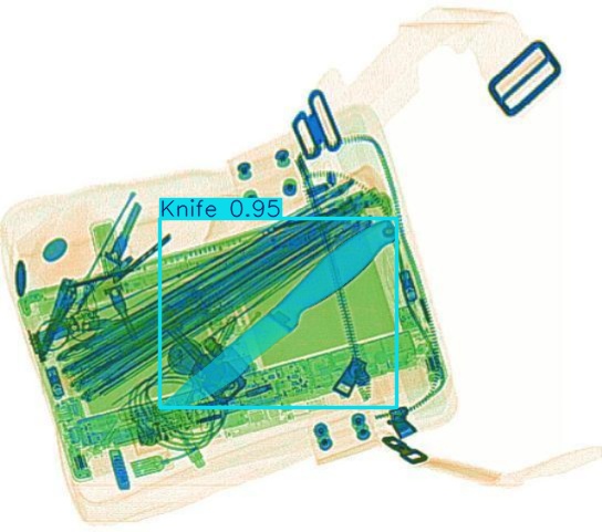
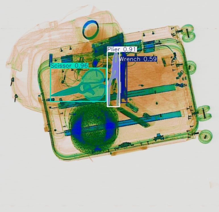
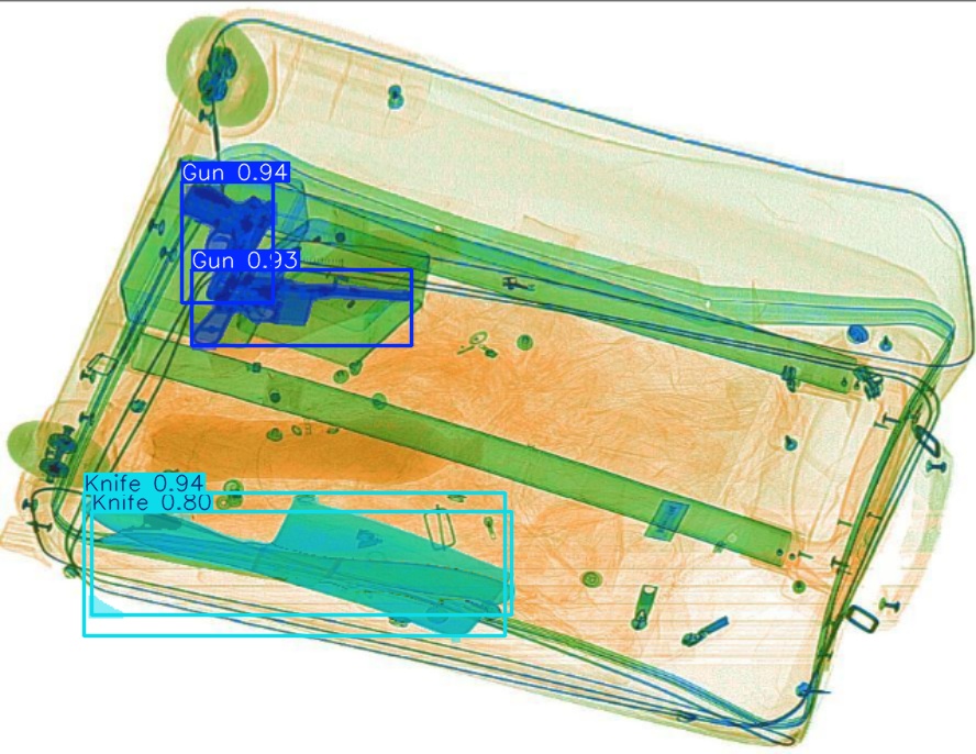
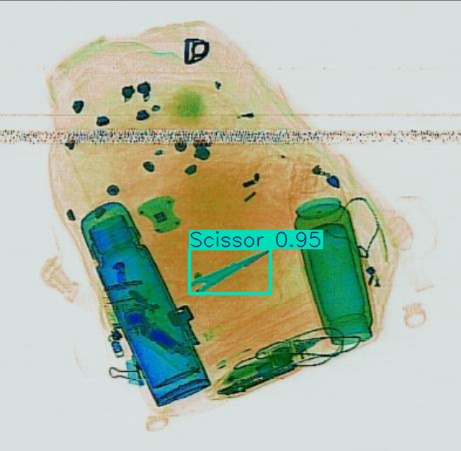
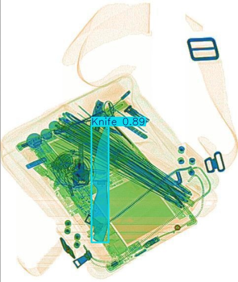
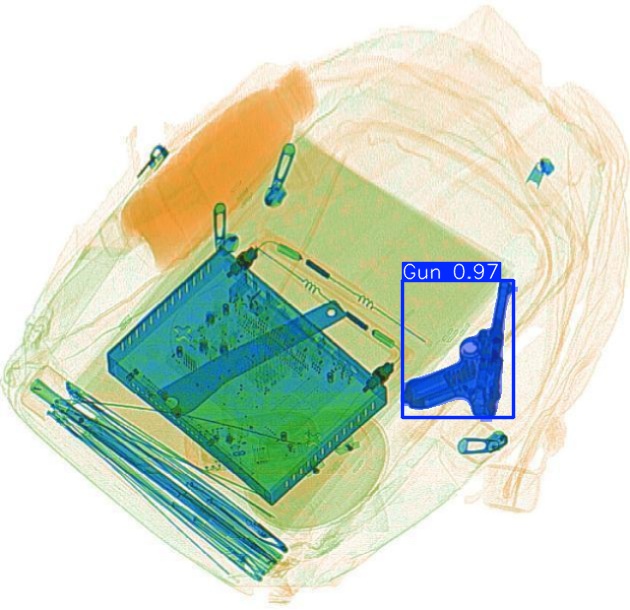
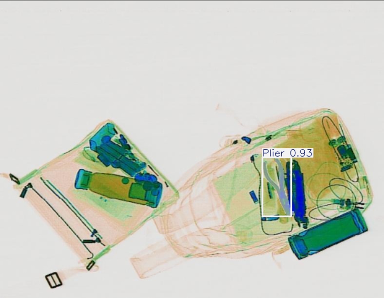
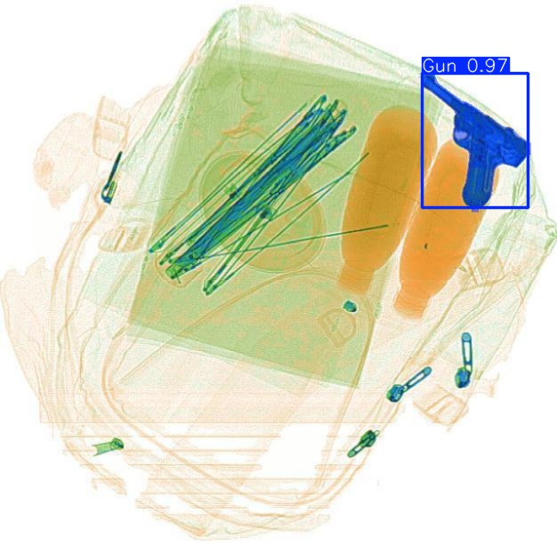
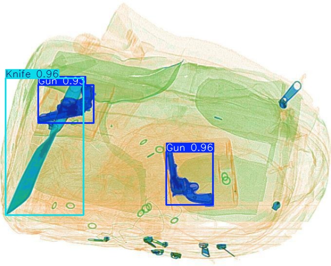
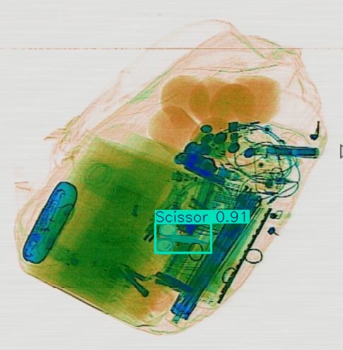
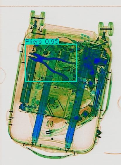
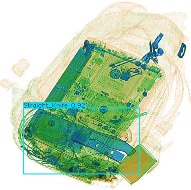
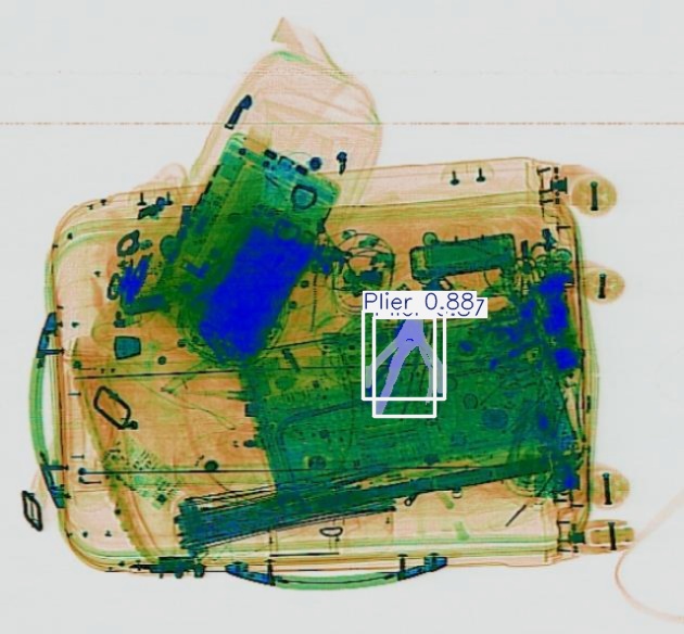
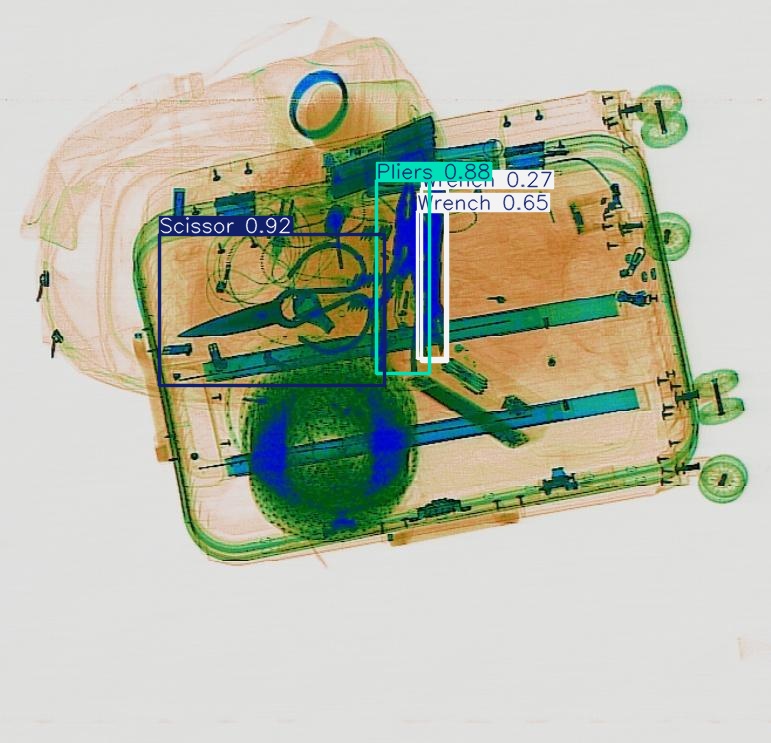
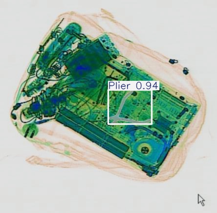
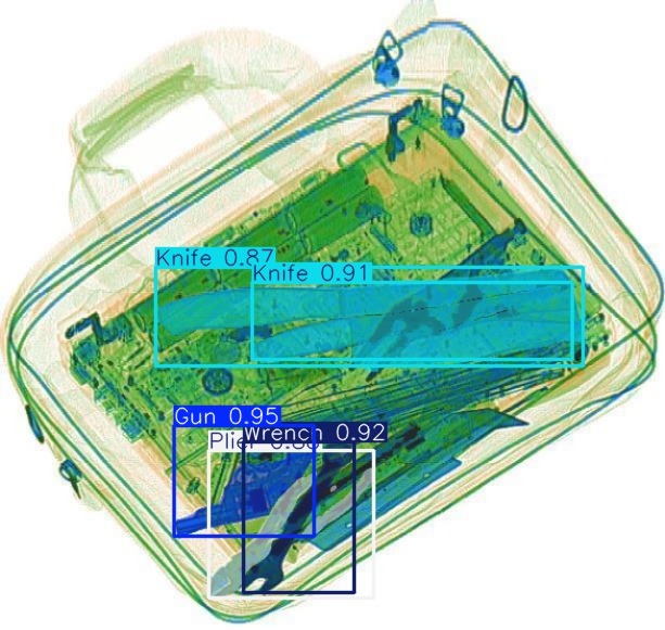
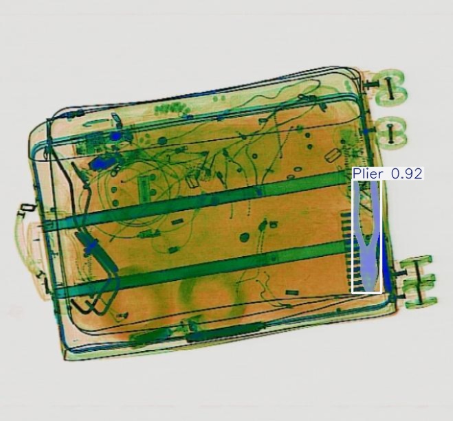
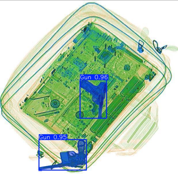
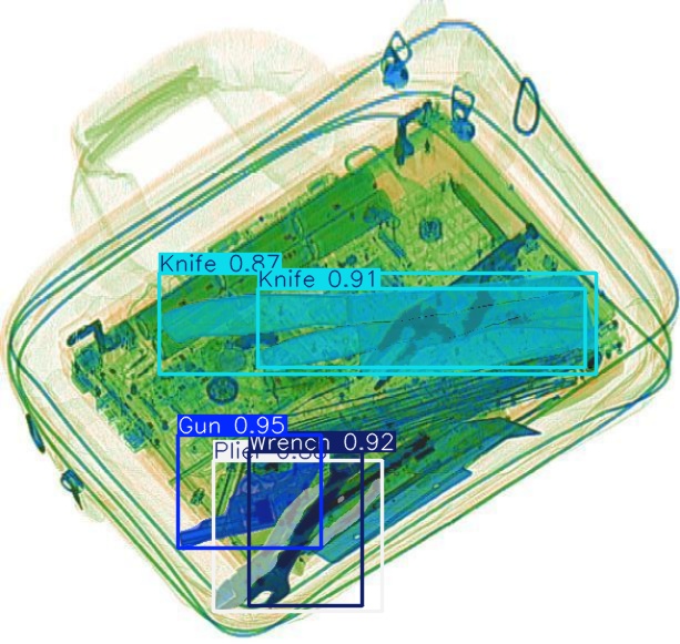
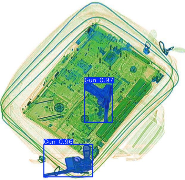
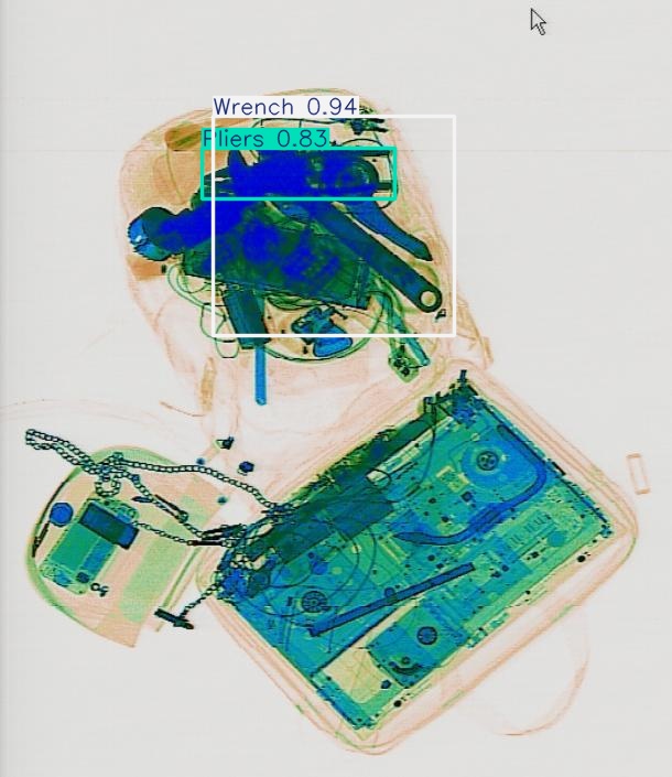
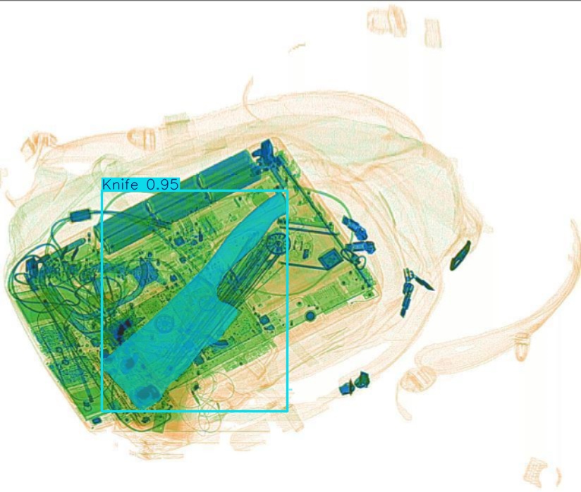
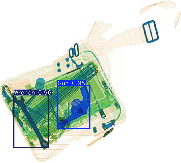
Detection Results Comparison

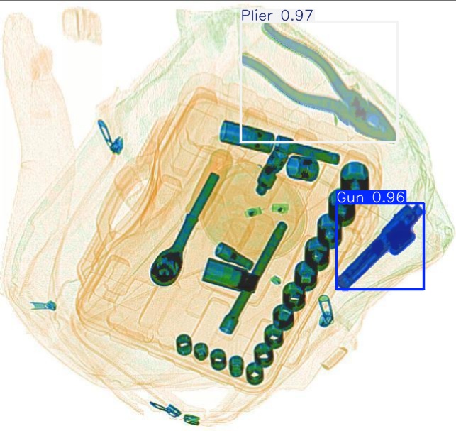
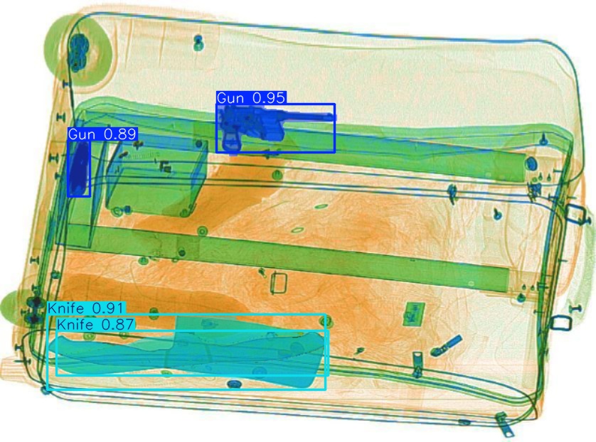
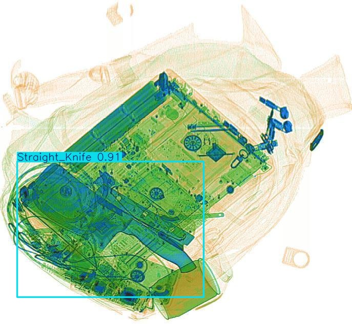
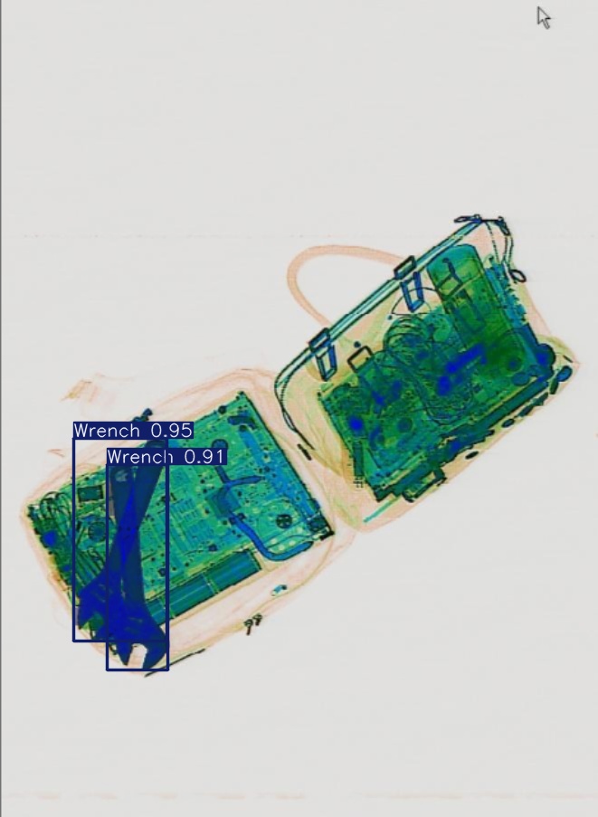
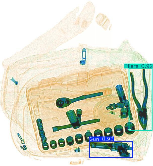
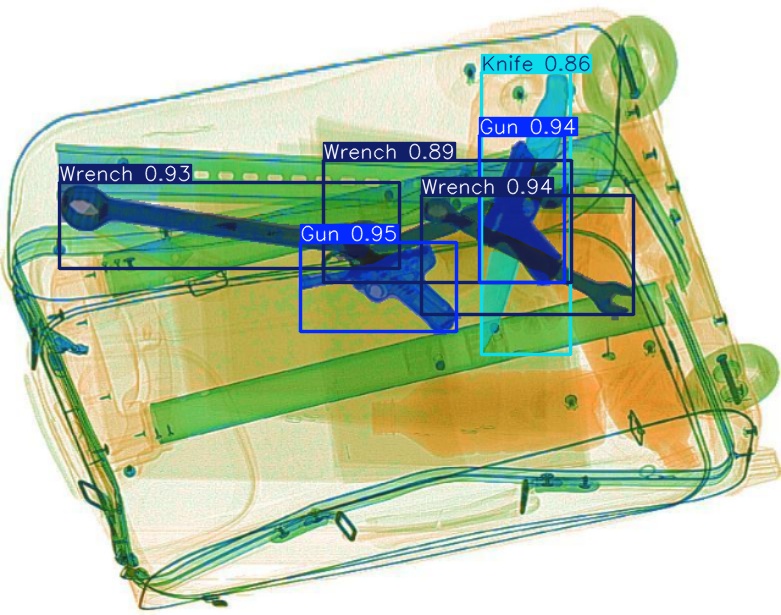
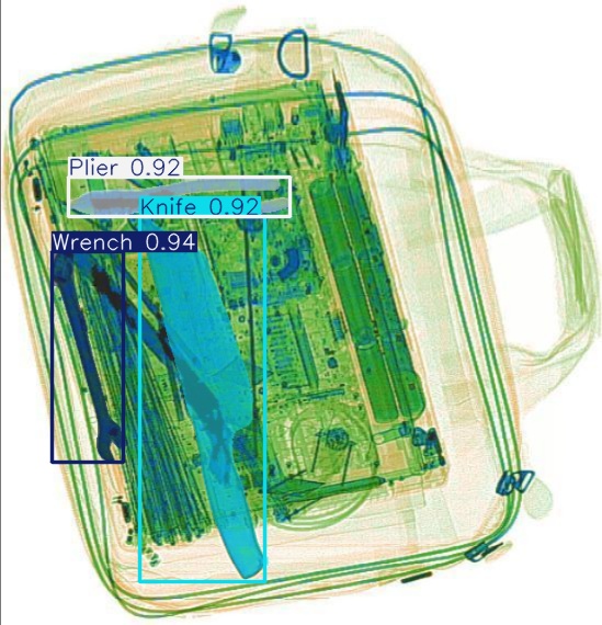
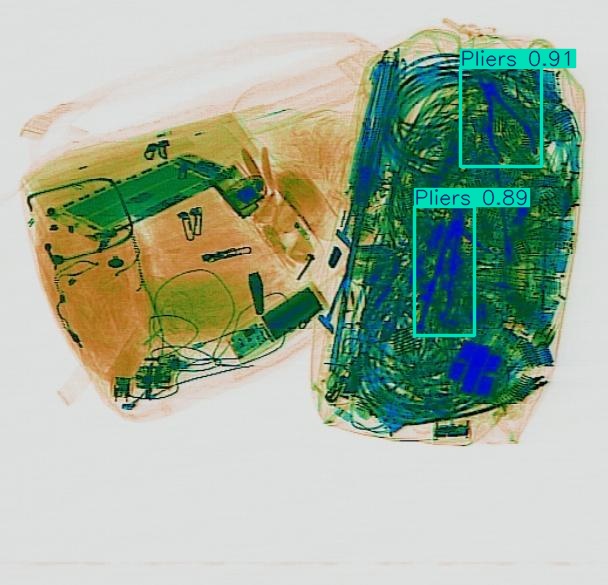
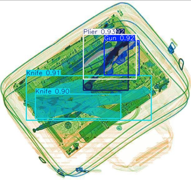
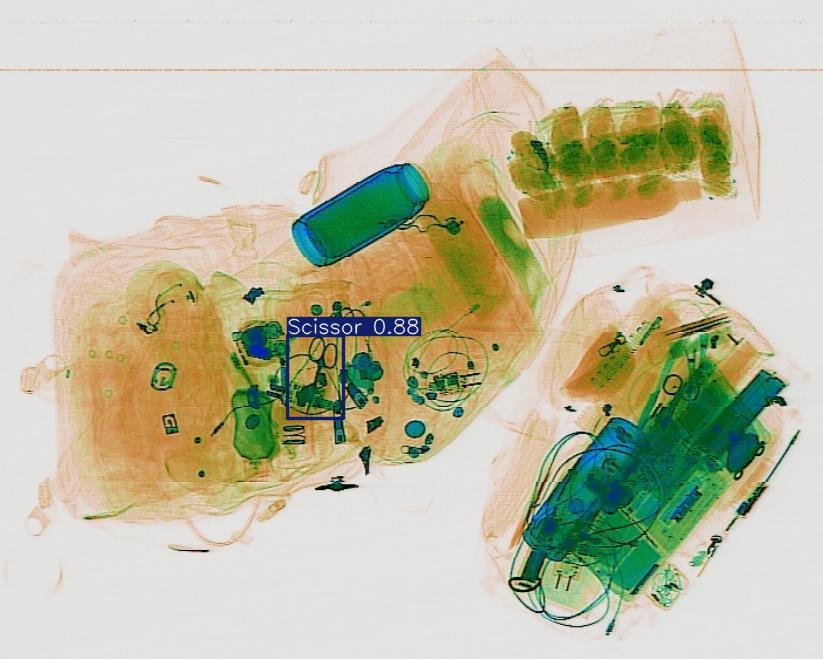
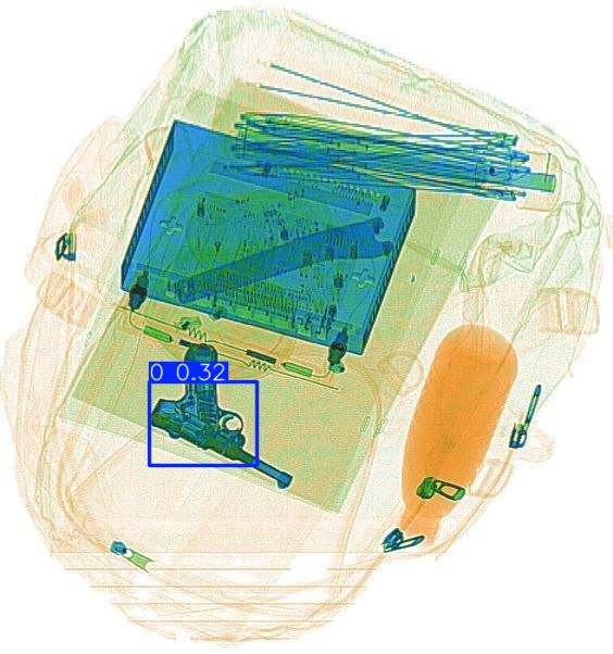
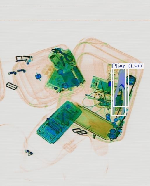
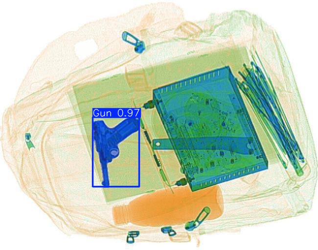
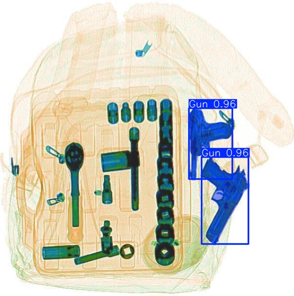
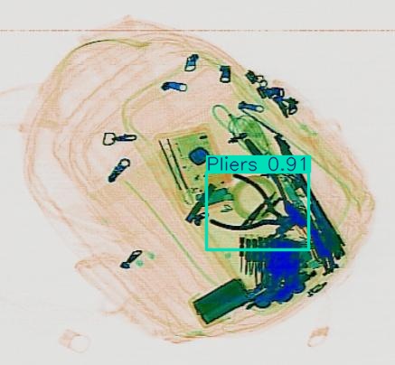
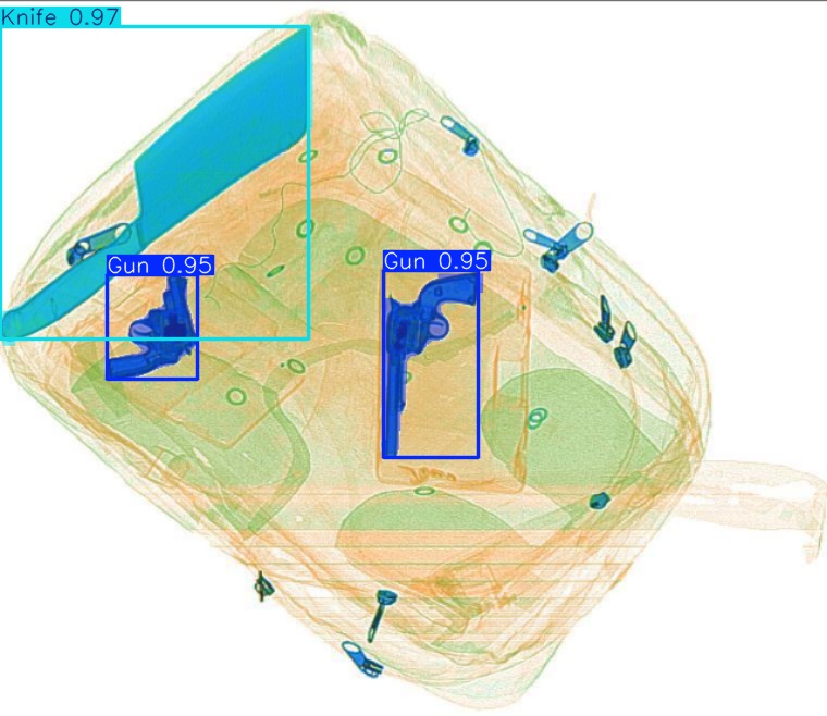
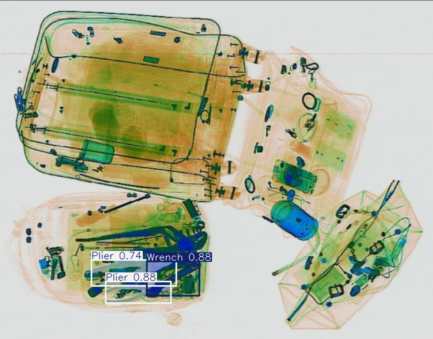
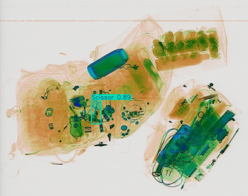
Original Image Box_v11_medium_train_SIXray_OPIXray DN_Medium_300_yolov8m_20t7_new Segmentatation_v8_medium_train_250 Segmentation_V11_large_300_train_300 Segmentation_v8_large_300_train_300
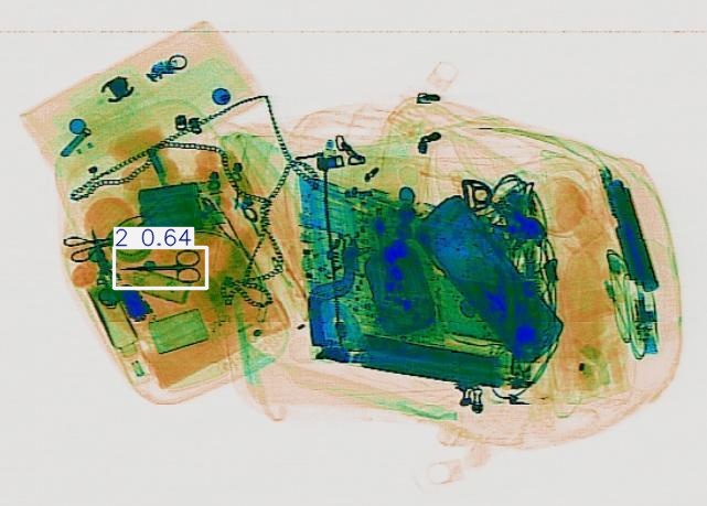
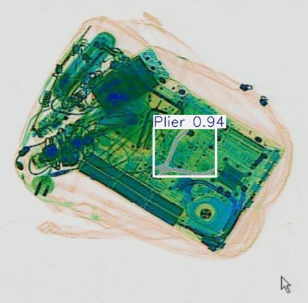
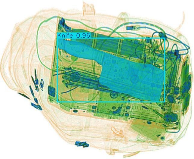
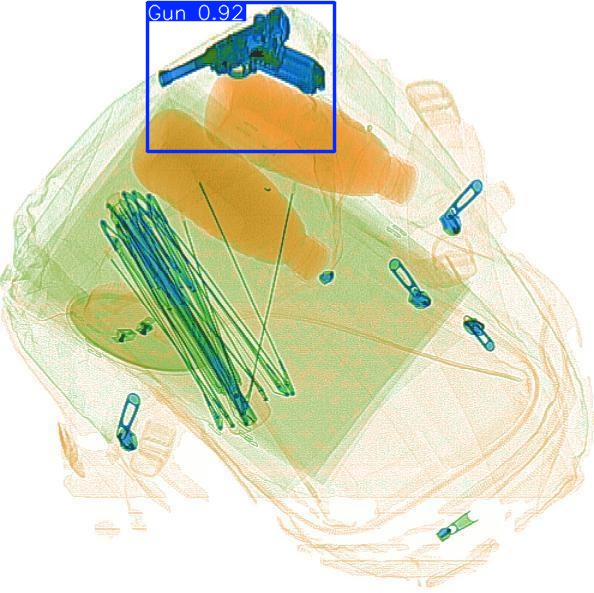
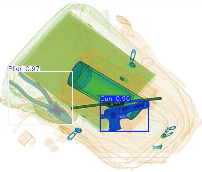
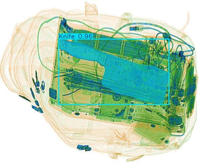
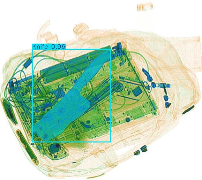
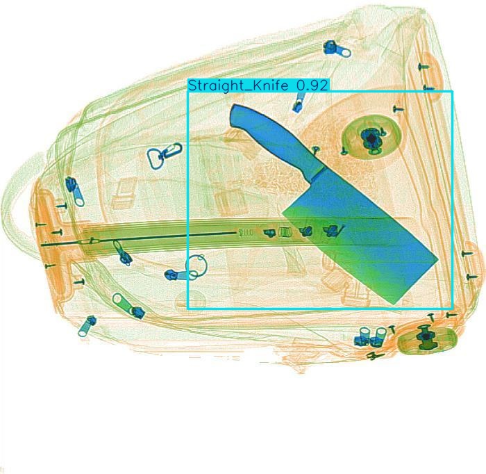
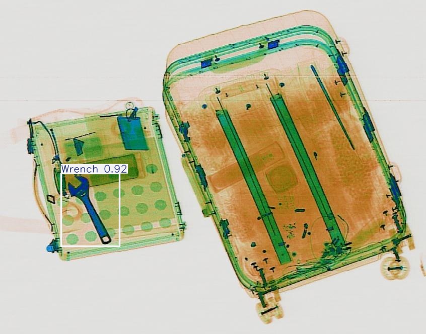
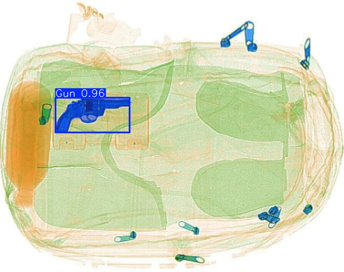
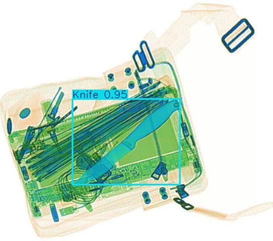
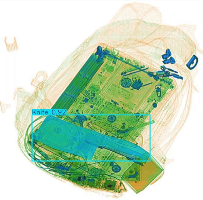
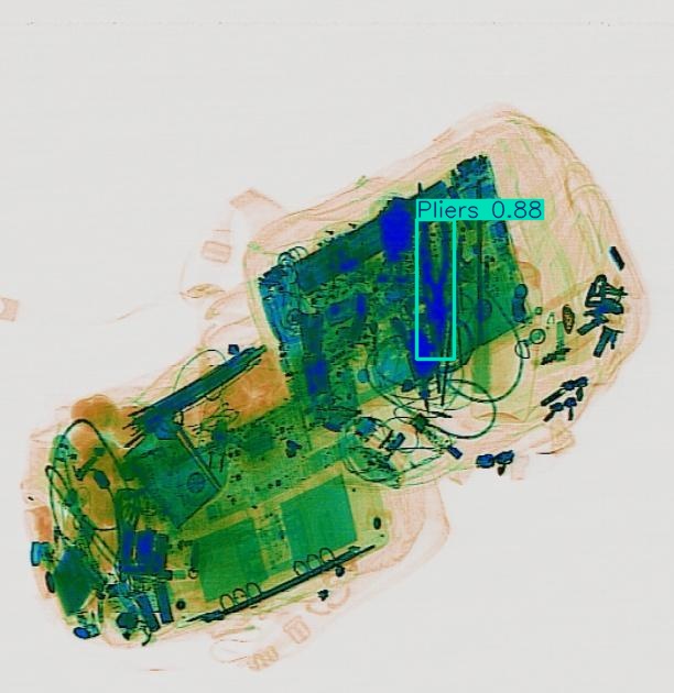
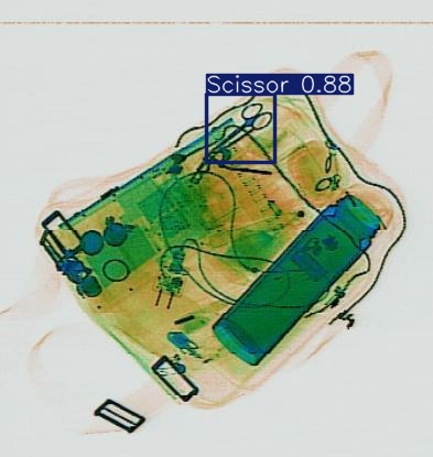
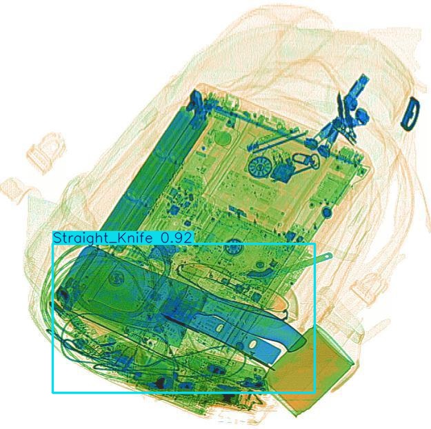
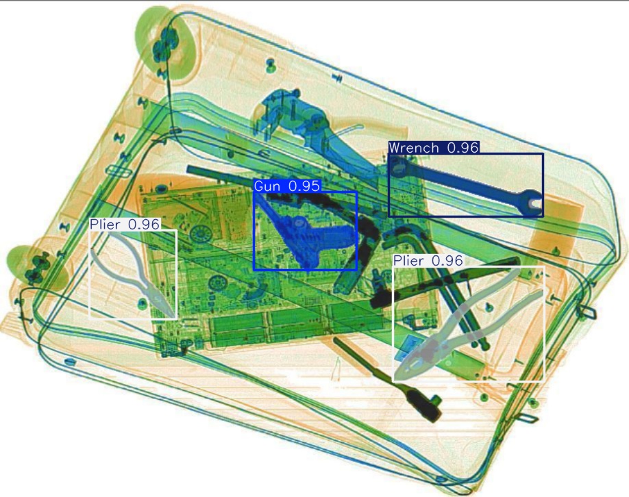
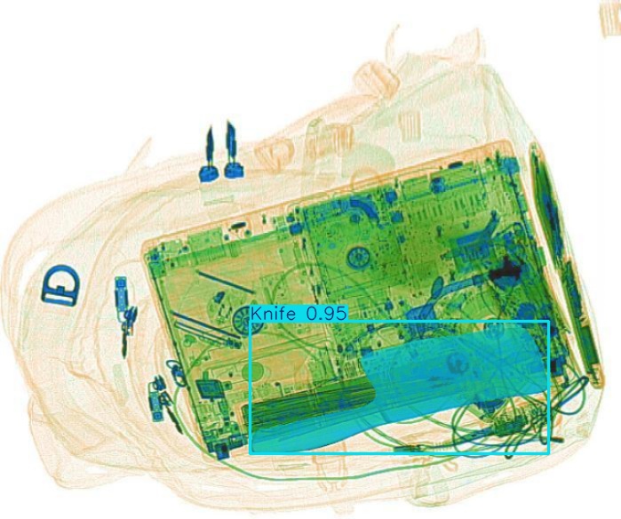
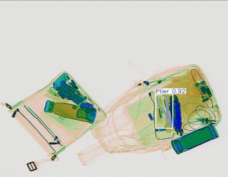
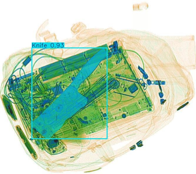
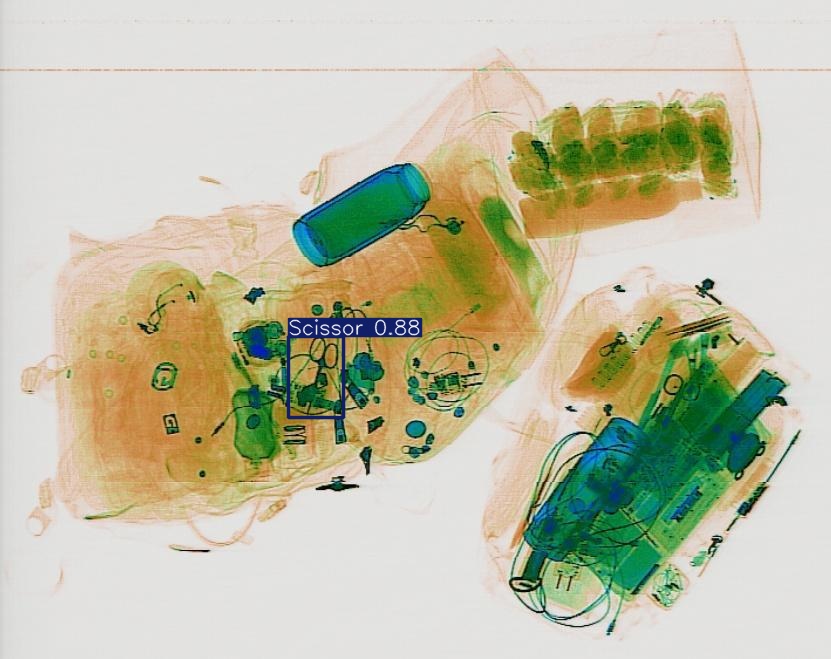
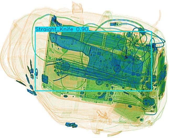
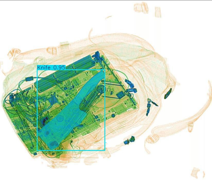
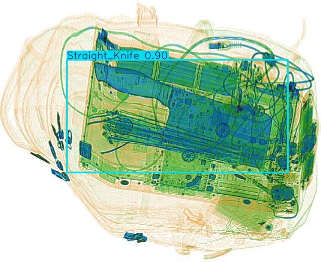
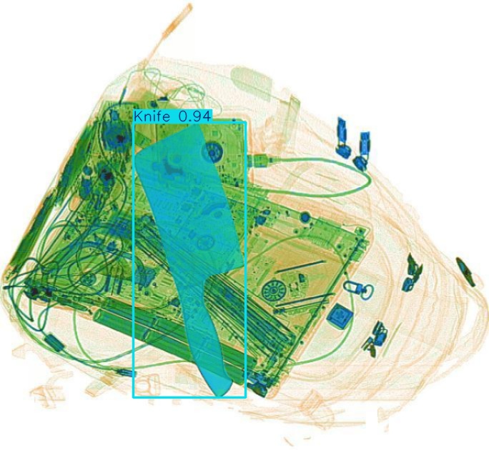
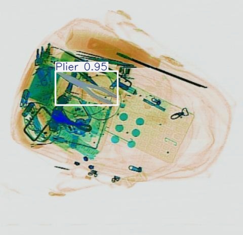
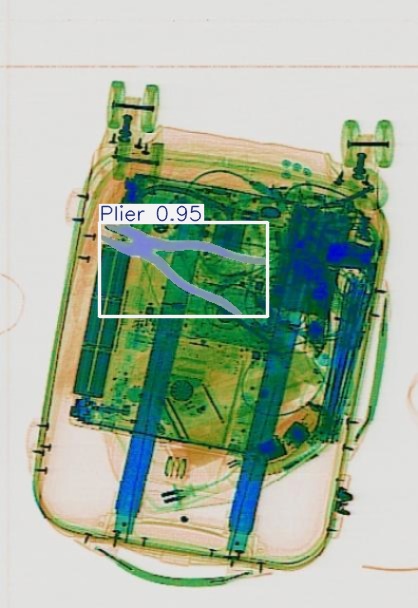
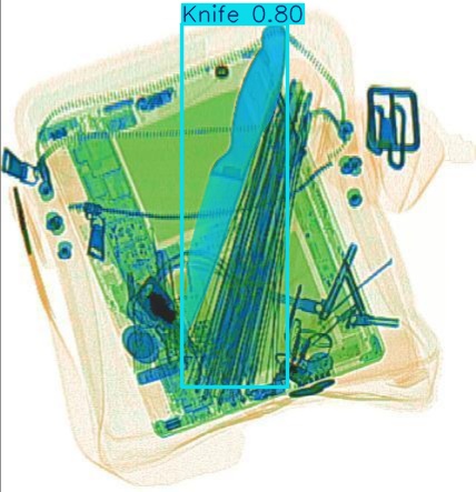
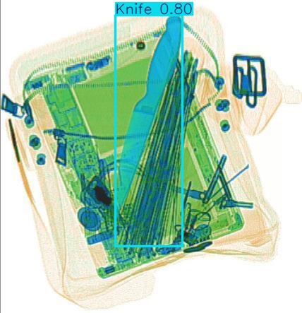
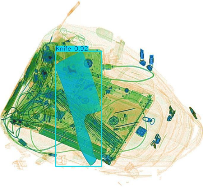
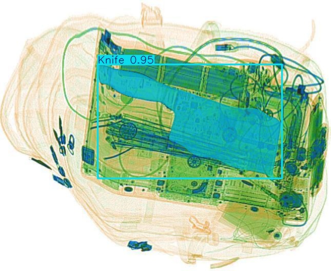
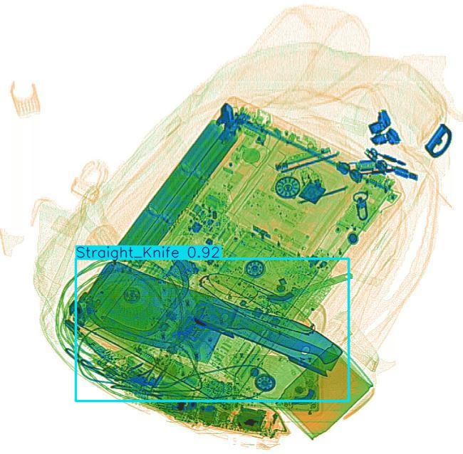
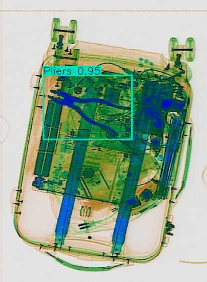
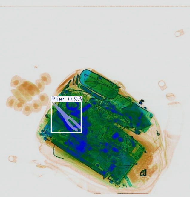
Original Image: P00001.jpg
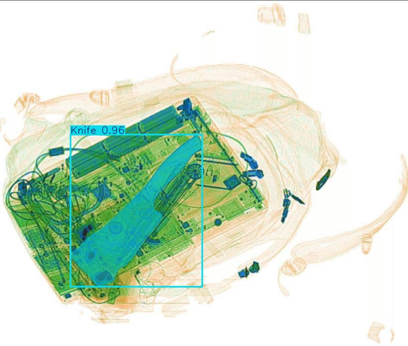
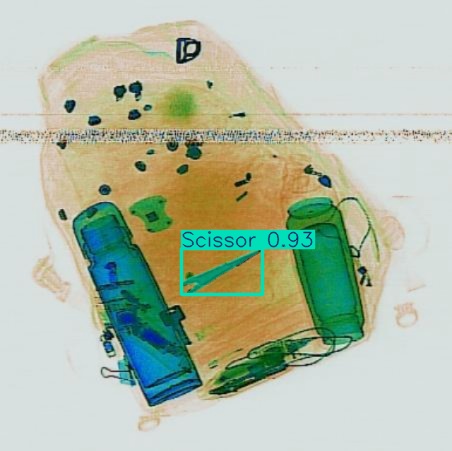
GT: knife
knife Detection preview by Box_v11_medium_train_SIXray_OPIXray No objects detected Detection preview by DN_Medium_300_yolov8m_20t7_new knife Detection preview by Segmentatation_v8_medium_train_250 knife Detection preview by Segmentation_V11_large_300_train_300 knife Detection preview by Segmentation_v8_large_300_train_300
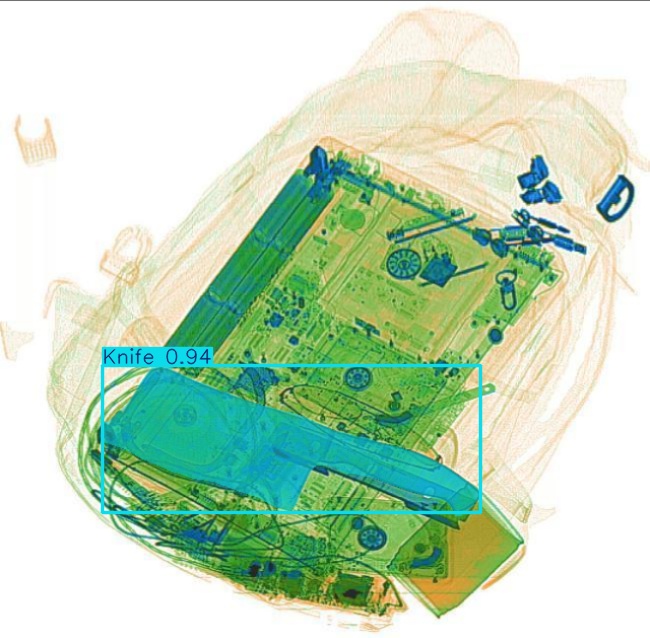
Original Image: P00002.jpg
GT: knife
knife Detection preview by Box_v11_medium_train_SIXray_OPIXray No objects detected Detection preview by DN_Medium_300_yolov8m_20t7_new knife Detection preview by Segmentatation_v8_medium_train_250 knife Detection preview by Segmentation_V11_large_300_train_300 knife Detection preview by Segmentation_v8_large_300_train_300
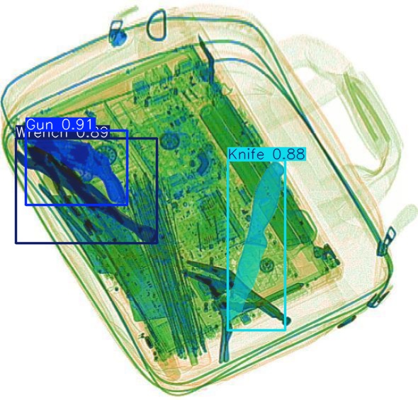
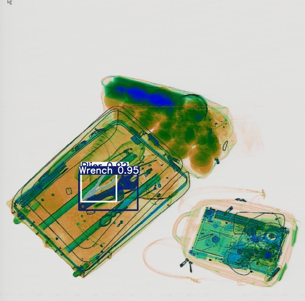
Original Image: P00003.jpg
GT: knife
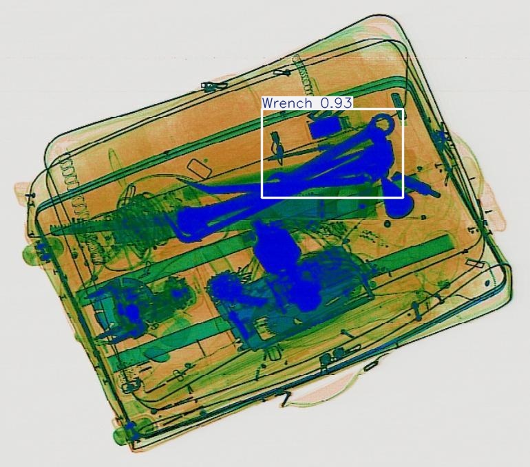
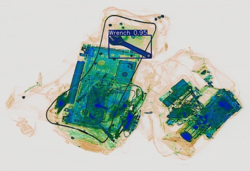
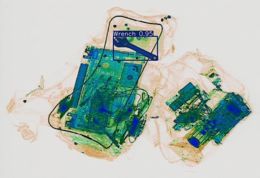
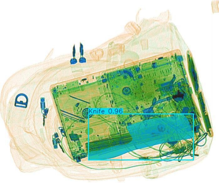
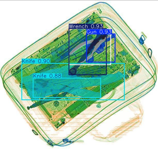
knife Detection preview by Box_v11_medium_train_SIXray_OPIXray No objects detected Detection preview by DN_Medium_300_yolov8m_20t7_new knife, wrench Detection preview by Segmentatation_v8_medium_train_250 knife Detection preview by Segmentation_V11_large_300_train_300 knife Detection preview by Segmentation_v8_large_300_train_300
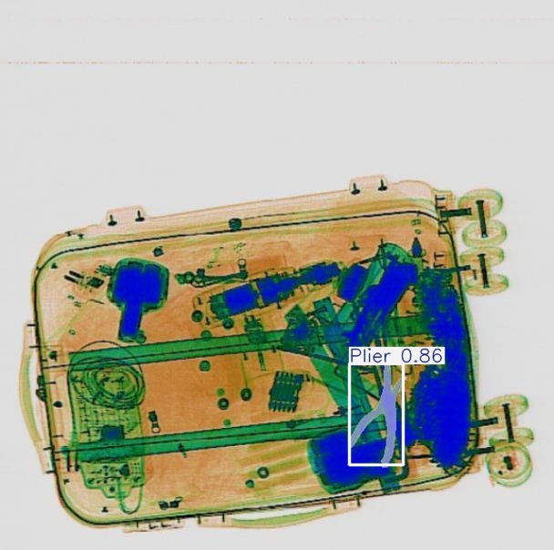
Original Image: P00004.jpg
GT: knife
knife Detection preview by Box_v11_medium_train_SIXray_OPIXray No objects detected Detection preview by DN_Medium_300_yolov8m_20t7_new knife Detection preview by Segmentatation_v8_medium_train_250 knife Detection preview by Segmentation_V11_large_300_train_300 knife Detection preview by Segmentation_v8_large_300_train_300
Original Image: P00005.jpg
GT: knife
knife Detection preview by Box_v11_medium_train_SIXray_OPIXray No objects detected Detection preview by DN_Medium_300_yolov8m_20t7_new knife Detection preview by Segmentatation_v8_medium_train_250 knife Detection preview by Segmentation_V11_large_300_train_300 knife Detection preview by Segmentation_v8_large_300_train_300
Original Image: P00006.jpg
GT: knife
knife Detection preview by Box_v11_medium_train_SIXray_OPIXray No objects detected Detection preview by DN_Medium_300_yolov8m_20t7_new knife Detection preview by Segmentatation_v8_medium_train_250 knife Detection preview by Segmentation_V11_large_300_train_300 knife Detection preview by Segmentation_v8_large_300_train_300
Original Image: P00007.jpg
GT: knife
knife Detection preview by Box_v11_medium_train_SIXray_OPIXray No objects detected Detection preview by DN_Medium_300_yolov8m_20t7_new knife Detection preview by Segmentatation_v8_medium_train_250 knife Detection preview by Segmentation_V11_large_300_train_300 knife Detection preview by Segmentation_v8_large_300_train_300
Original Image: P00008.jpg
GT: knife
knife Detection preview by Box_v11_medium_train_SIXray_OPIXray No objects detected Detection preview by DN_Medium_300_yolov8m_20t7_new knife Detection preview by Segmentatation_v8_medium_train_250 knife Detection preview by Segmentation_V11_large_300_train_300 knife Detection preview by Segmentation_v8_large_300_train_300
Original Image: P00009.jpg
GT: knife
knife Detection preview by Box_v11_medium_train_SIXray_OPIXray No objects detected Detection preview by DN_Medium_300_yolov8m_20t7_new knife Detection preview by Segmentatation_v8_medium_train_250 knife Detection preview by Segmentation_V11_large_300_train_300 knife Detection preview by Segmentation_v8_large_300_train_300
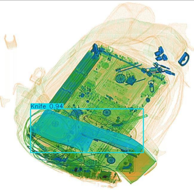
Original Image: P00010.jpg
GT: knife
knife Detection preview by Box_v11_medium_train_SIXray_OPIXray No objects detected Detection preview by DN_Medium_300_yolov8m_20t7_new knife Detection preview by Segmentatation_v8_medium_train_250 knife Detection preview by Segmentation_V11_large_300_train_300 knife Detection preview by Segmentation_v8_large_300_train_300
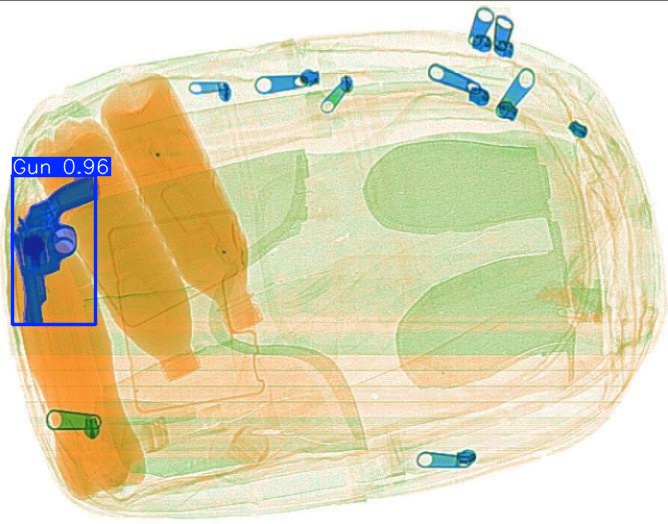
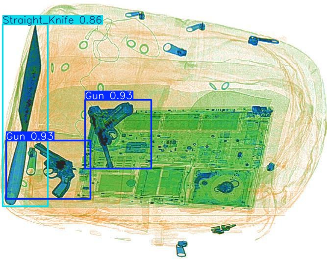
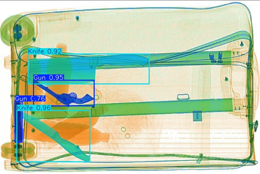
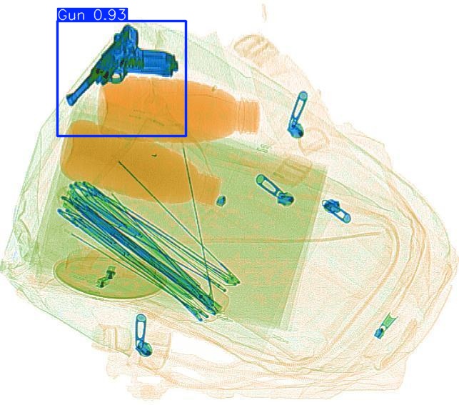
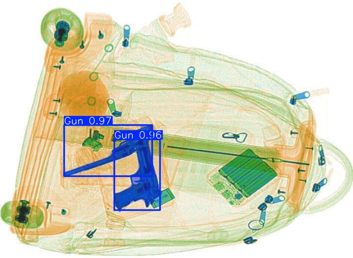
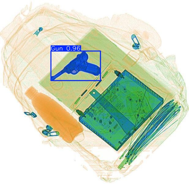
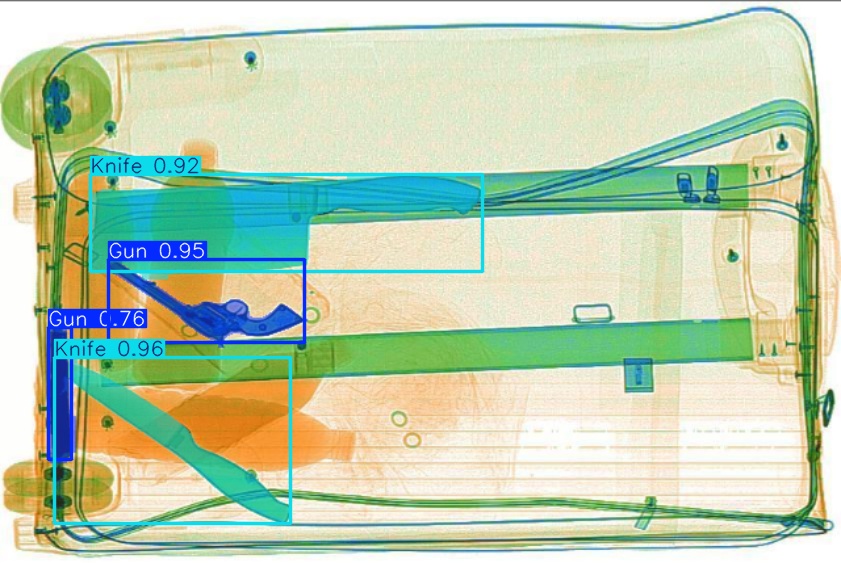
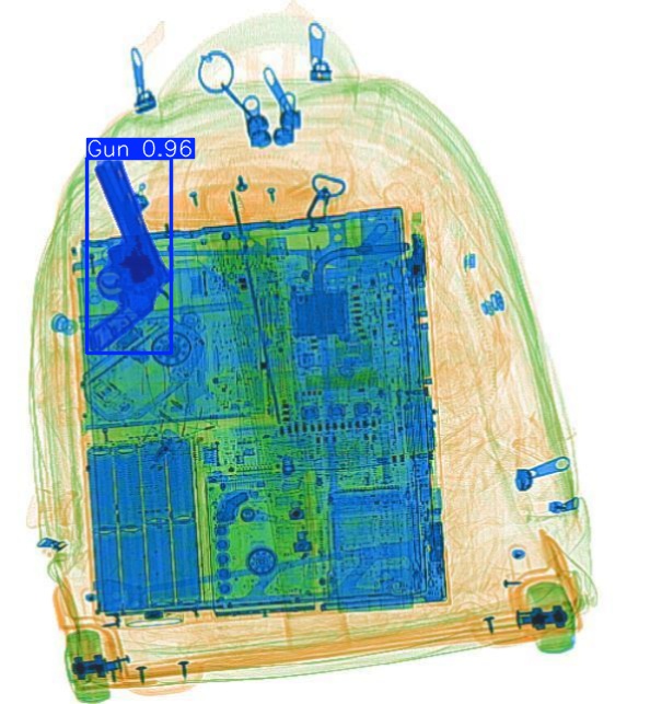
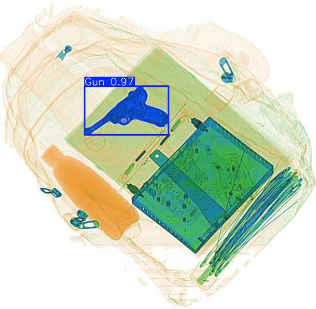
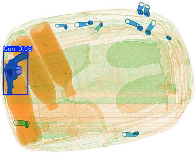
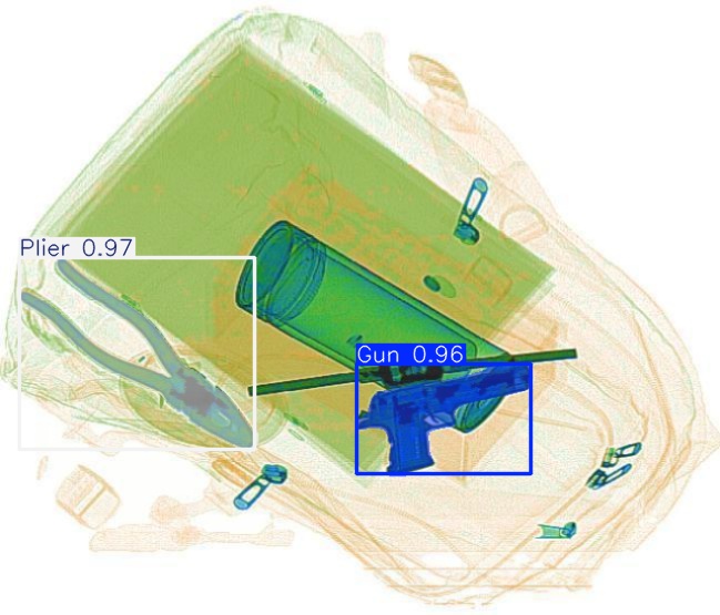
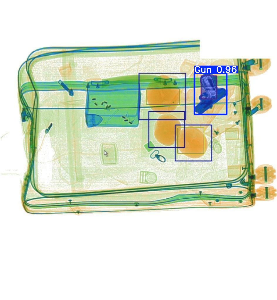
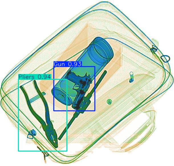
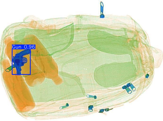
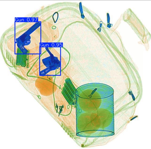
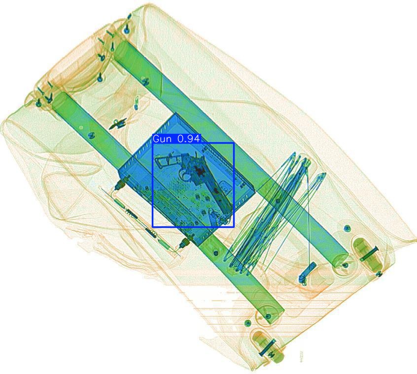
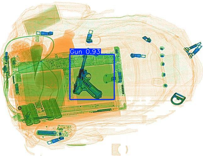
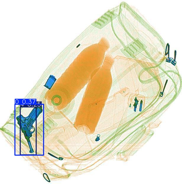
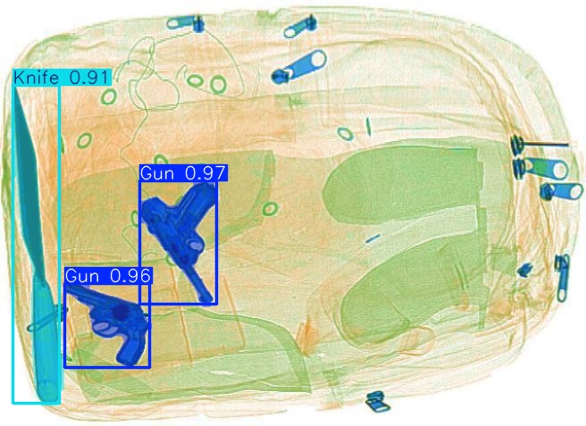
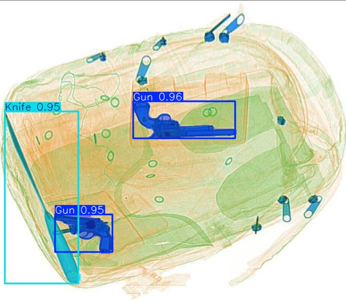
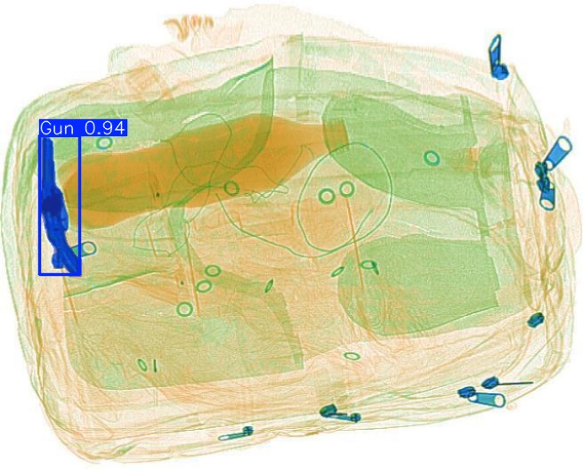
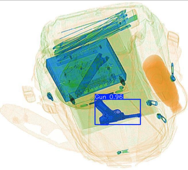
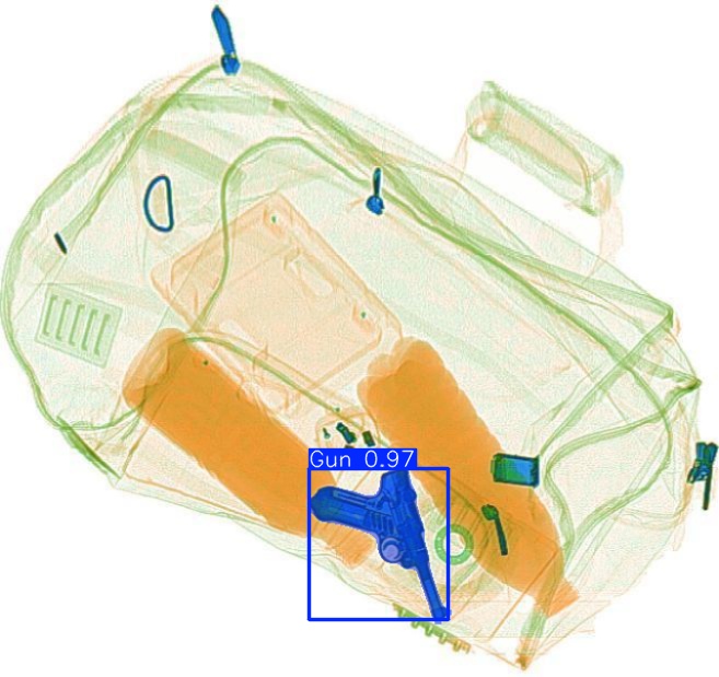
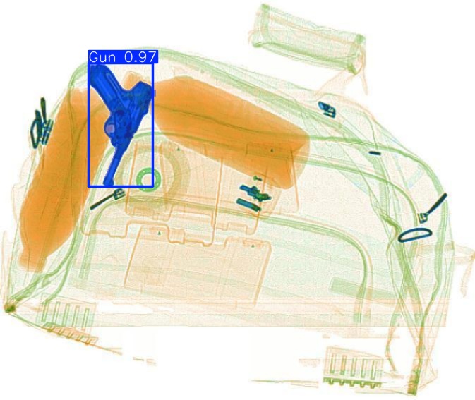
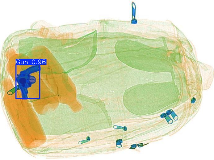
Original Image: P00011.jpg
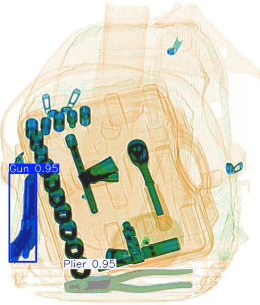
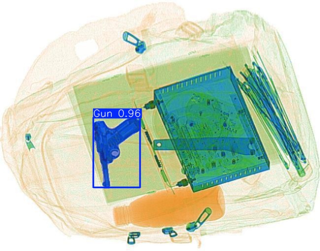
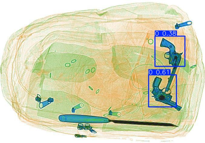
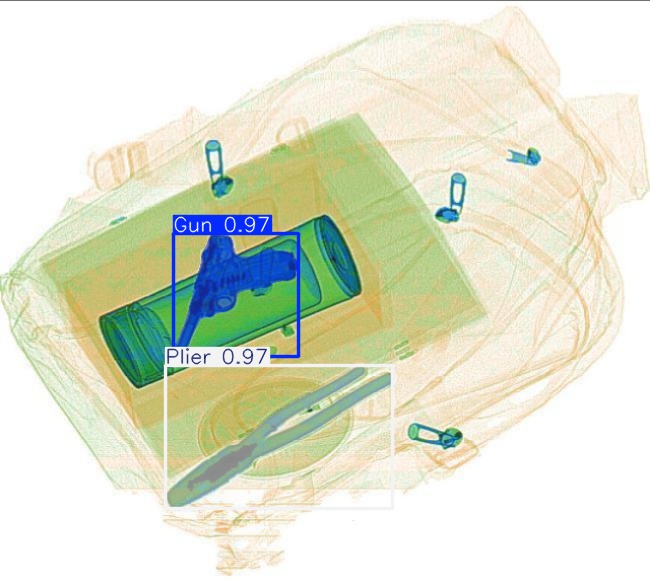
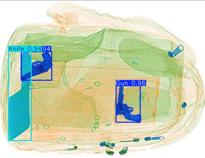
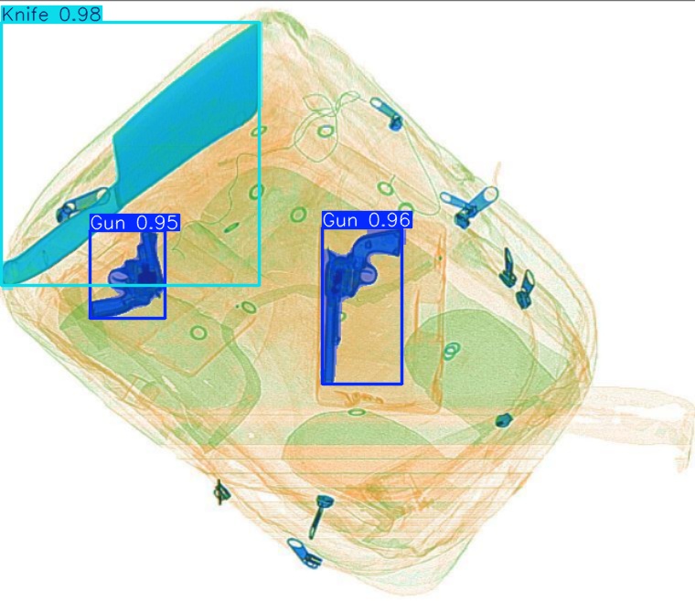
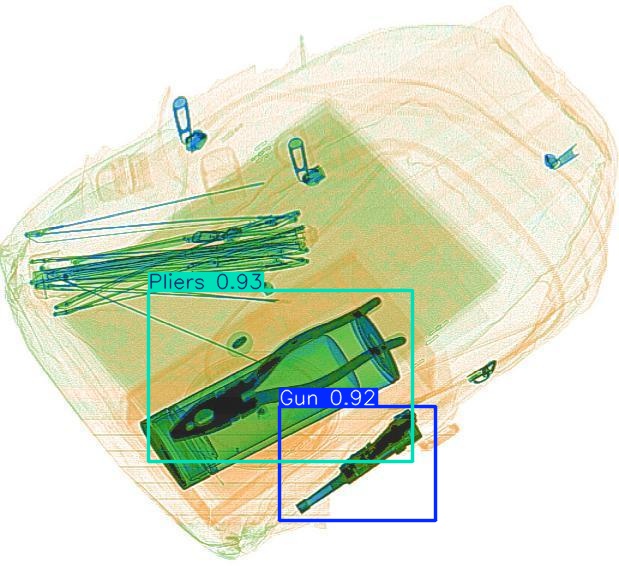
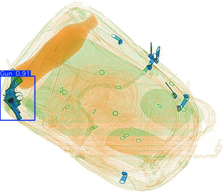
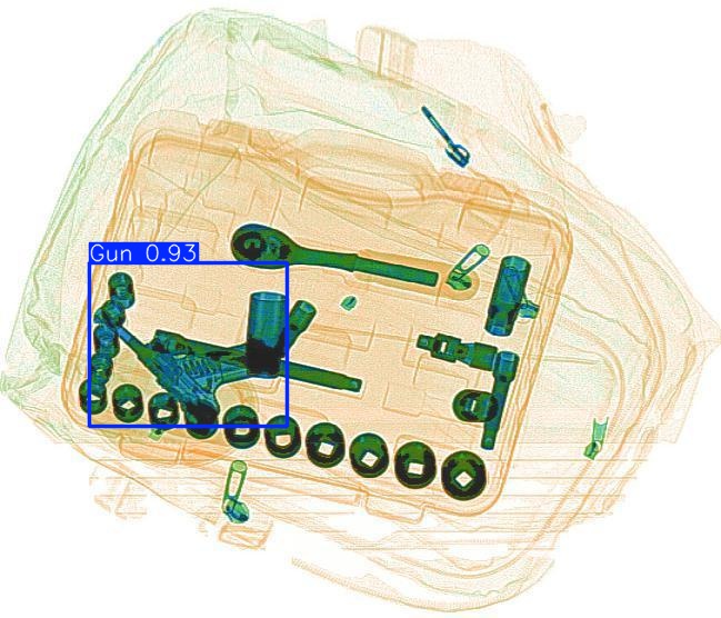
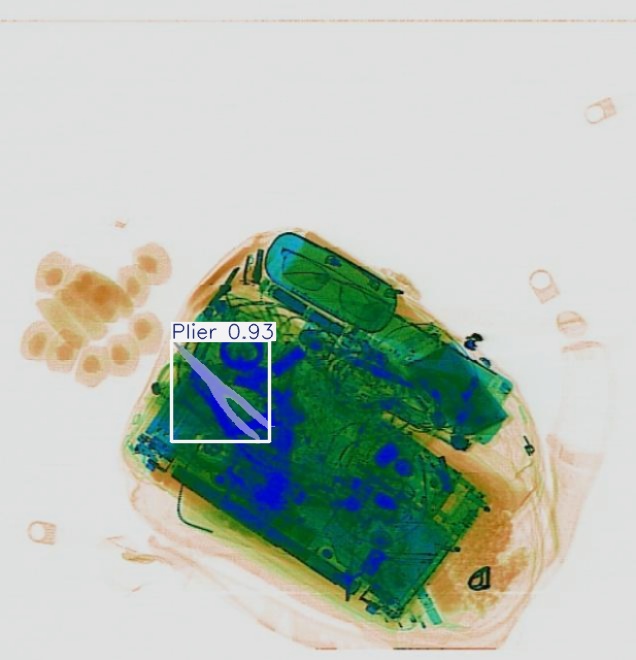
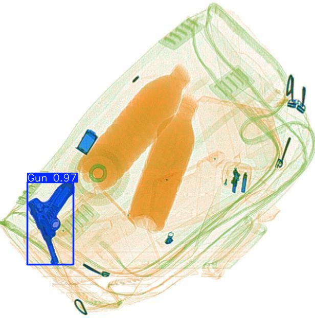
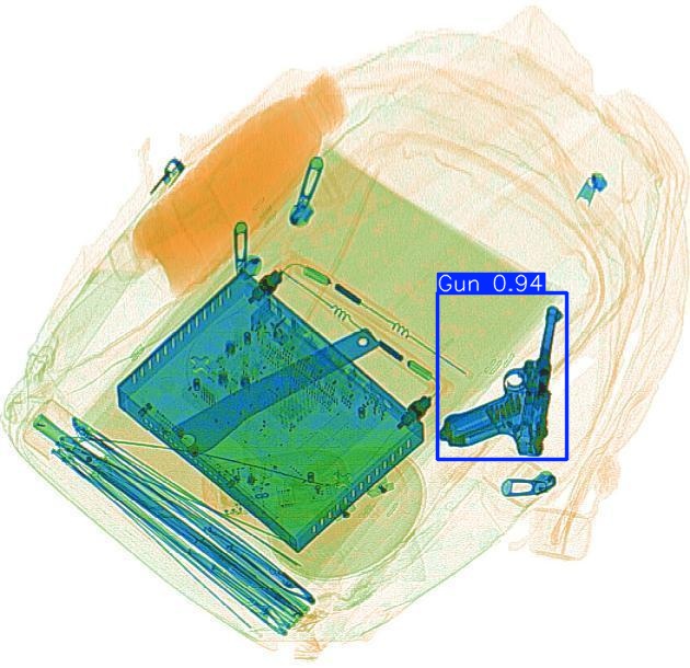
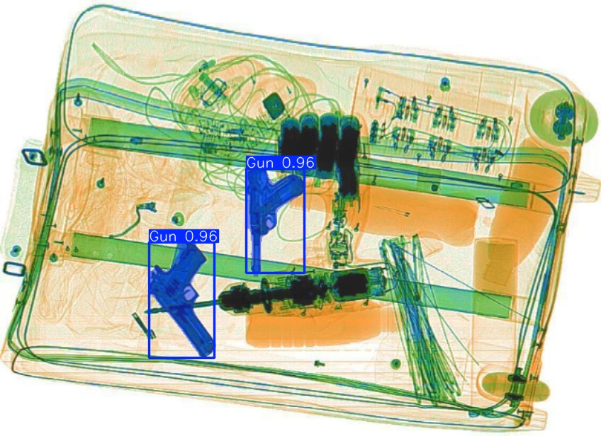
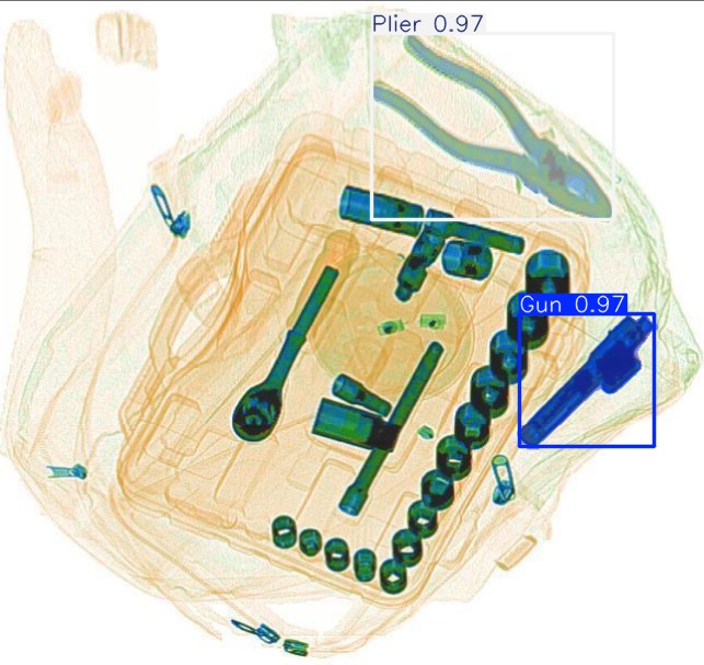
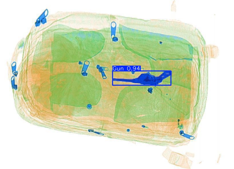
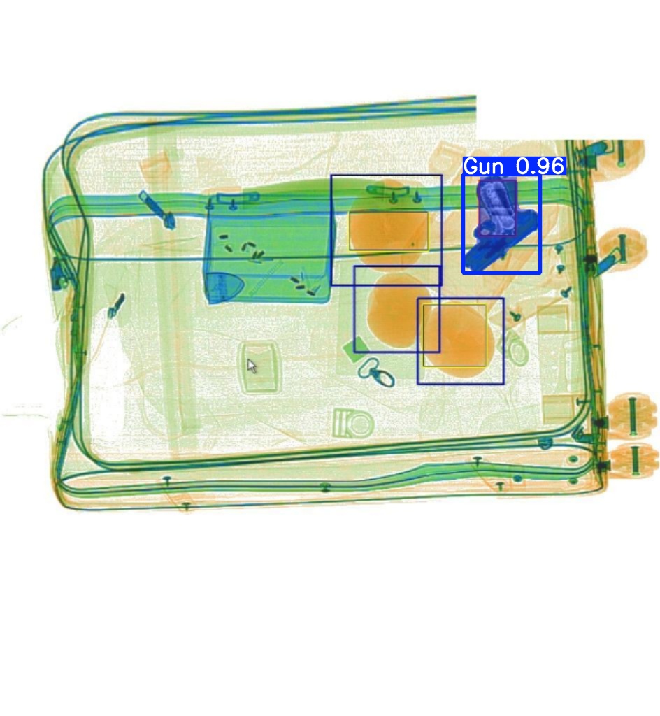
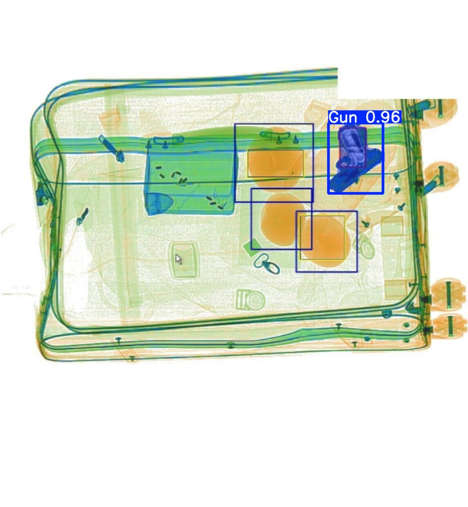
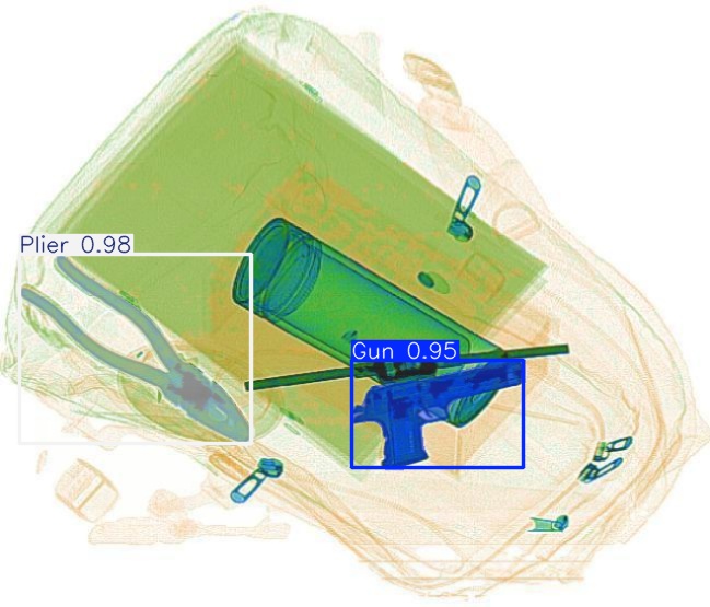
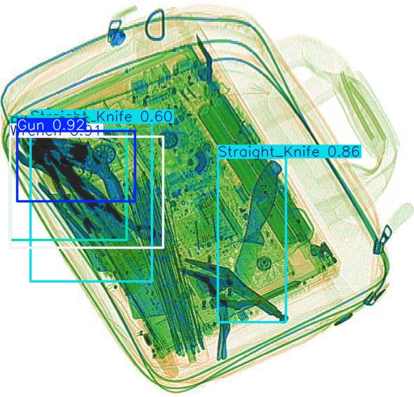
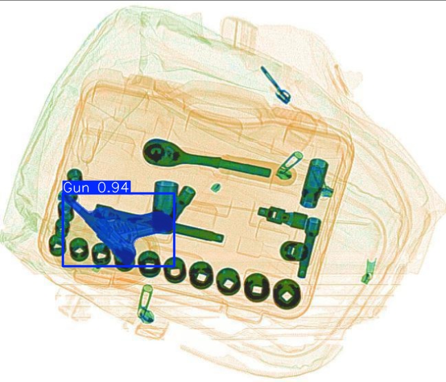
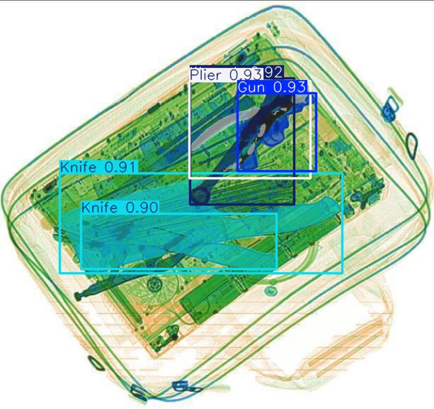
GT: gun, knife
gun, knife Detection preview by Box_v11_medium_train_SIXray_OPIXray No objects detected Detection preview by DN_Medium_300_yolov8m_20t7_new gun, knife Detection preview by Segmentatation_v8_medium_train_250 gun, knife Detection preview by Segmentation_V11_large_300_train_300 gun, knife Detection preview by Segmentation_v8_large_300_train_300
Original Image: P00012.jpg
GT: knife
knife Detection preview by Box_v11_medium_train_SIXray_OPIXray No objects detected Detection preview by DN_Medium_300_yolov8m_20t7_new knife Detection preview by Segmentatation_v8_medium_train_250 knife Detection preview by Segmentation_V11_large_300_train_300 knife Detection preview by Segmentation_v8_large_300_train_300
Original Image: P00013.jpg
GT: knife
knife Detection preview by Box_v11_medium_train_SIXray_OPIXray No objects detected Detection preview by DN_Medium_300_yolov8m_20t7_new knife Detection preview by Segmentatation_v8_medium_train_250 knife Detection preview by Segmentation_V11_large_300_train_300 knife Detection preview by Segmentation_v8_large_300_train_300
Original Image: P00014.jpg
GT: gun, knife
gun, knife Detection preview by Box_v11_medium_train_SIXray_OPIXray No objects detected Detection preview by DN_Medium_300_yolov8m_20t7_new gun, knife Detection preview by Segmentatation_v8_medium_train_250 gun, knife Detection preview by Segmentation_V11_large_300_train_300 gun, knife Detection preview by Segmentation_v8_large_300_train_300
Original Image: P00015.jpg
GT: knife
knife Detection preview by Box_v11_medium_train_SIXray_OPIXray No objects detected Detection preview by DN_Medium_300_yolov8m_20t7_new knife Detection preview by Segmentatation_v8_medium_train_250 knife Detection preview by Segmentation_V11_large_300_train_300 knife Detection preview by Segmentation_v8_large_300_train_300
Original Image: P00016.jpg
GT: knife
knife Detection preview by Box_v11_medium_train_SIXray_OPIXray No objects detected Detection preview by DN_Medium_300_yolov8m_20t7_new knife Detection preview by Segmentatation_v8_medium_train_250 knife Detection preview by Segmentation_V11_large_300_train_300 knife Detection preview by Segmentation_v8_large_300_train_300
Original Image: P00017.jpg
GT: gun, knife
gun, knife Detection preview by Box_v11_medium_train_SIXray_OPIXray No objects detected Detection preview by DN_Medium_300_yolov8m_20t7_new gun, knife Detection preview by Segmentatation_v8_medium_train_250 gun, knife Detection preview by Segmentation_V11_large_300_train_300 gun, knife Detection preview by Segmentation_v8_large_300_train_300
Original Image: P00018.jpg
GT: gun, knife
gun, knife Detection preview by Box_v11_medium_train_SIXray_OPIXray No objects detected Detection preview by DN_Medium_300_yolov8m_20t7_new gun, knife Detection preview by Segmentatation_v8_medium_train_250 gun, knife Detection preview by Segmentation_V11_large_300_train_300 gun, knife Detection preview by Segmentation_v8_large_300_train_300
Original Image: P00019.jpg
GT: knife
knife Detection preview by Box_v11_medium_train_SIXray_OPIXray No objects detected Detection preview by DN_Medium_300_yolov8m_20t7_new knife Detection preview by Segmentatation_v8_medium_train_250 knife Detection preview by Segmentation_V11_large_300_train_300 knife Detection preview by Segmentation_v8_large_300_train_300
Original Image: P00020.jpg
GT: knife
knife Detection preview by Box_v11_medium_train_SIXray_OPIXray No objects detected Detection preview by DN_Medium_300_yolov8m_20t7_new knife Detection preview by Segmentatation_v8_medium_train_250 knife Detection preview by Segmentation_V11_large_300_train_300 knife Detection preview by Segmentation_v8_large_300_train_300
Original Image: P00021.jpg
GT: knife
knife Detection preview by Box_v11_medium_train_SIXray_OPIXray No objects detected Detection preview by DN_Medium_300_yolov8m_20t7_new knife Detection preview by Segmentatation_v8_medium_train_250 knife Detection preview by Segmentation_V11_large_300_train_300 knife Detection preview by Segmentation_v8_large_300_train_300
Original Image: P00022.jpg
GT: knife
knife Detection preview by Box_v11_medium_train_SIXray_OPIXray No objects detected Detection preview by DN_Medium_300_yolov8m_20t7_new knife Detection preview by Segmentatation_v8_medium_train_250 knife Detection preview by Segmentation_V11_large_300_train_300 knife Detection preview by Segmentation_v8_large_300_train_300
Original Image: P00023.jpg
GT: knife
knife Detection preview by Box_v11_medium_train_SIXray_OPIXray No objects detected Detection preview by DN_Medium_300_yolov8m_20t7_new knife Detection preview by Segmentatation_v8_medium_train_250 knife Detection preview by Segmentation_V11_large_300_train_300 knife Detection preview by Segmentation_v8_large_300_train_300
Original Image: P00024.jpg
GT: knife
knife Detection preview by Box_v11_medium_train_SIXray_OPIXray No objects detected Detection preview by DN_Medium_300_yolov8m_20t7_new knife Detection preview by Segmentatation_v8_medium_train_250 knife Detection preview by Segmentation_V11_large_300_train_300 knife Detection preview by Segmentation_v8_large_300_train_300
Original Image: P00025.jpg
GT: knife
knife Detection preview by Box_v11_medium_train_SIXray_OPIXray No objects detected Detection preview by DN_Medium_300_yolov8m_20t7_new knife Detection preview by Segmentatation_v8_medium_train_250 knife Detection preview by Segmentation_V11_large_300_train_300 knife Detection preview by Segmentation_v8_large_300_train_300
Original Image: P00026.jpg
GT: knife
knife Detection preview by Box_v11_medium_train_SIXray_OPIXray No objects detected Detection preview by DN_Medium_300_yolov8m_20t7_new knife Detection preview by Segmentatation_v8_medium_train_250 knife Detection preview by Segmentation_V11_large_300_train_300 knife Detection preview by Segmentation_v8_large_300_train_300
Original Image: P00027.jpg
GT: knife
knife Detection preview by Box_v11_medium_train_SIXray_OPIXray No objects detected Detection preview by DN_Medium_300_yolov8m_20t7_new knife Detection preview by Segmentatation_v8_medium_train_250 knife Detection preview by Segmentation_V11_large_300_train_300 knife Detection preview by Segmentation_v8_large_300_train_300
Original Image: P00028.jpg
GT: knife
knife Detection preview by Box_v11_medium_train_SIXray_OPIXray No objects detected Detection preview by DN_Medium_300_yolov8m_20t7_new knife Detection preview by Segmentatation_v8_medium_train_250 knife Detection preview by Segmentation_V11_large_300_train_300 knife Detection preview by Segmentation_v8_large_300_train_300
Original Image: P00029.jpg
GT: knife
knife Detection preview by Box_v11_medium_train_SIXray_OPIXray No objects detected Detection preview by DN_Medium_300_yolov8m_20t7_new knife Detection preview by Segmentatation_v8_medium_train_250 knife Detection preview by Segmentation_V11_large_300_train_300 knife Detection preview by Segmentation_v8_large_300_train_300
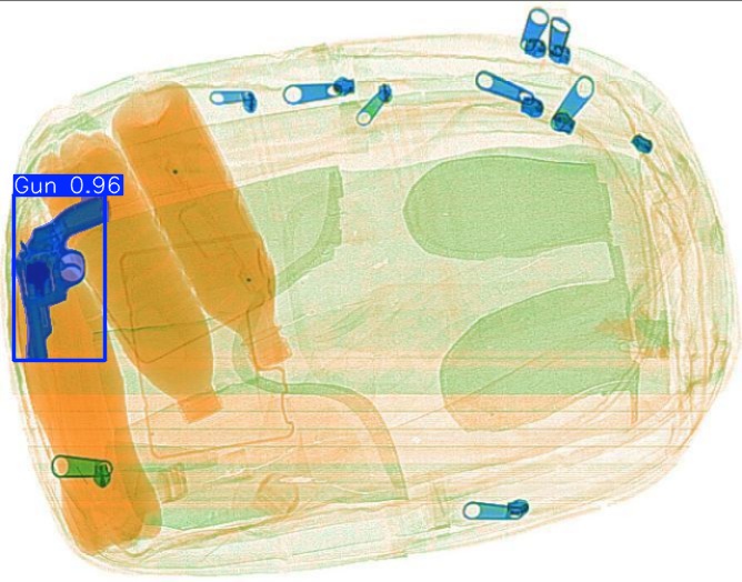
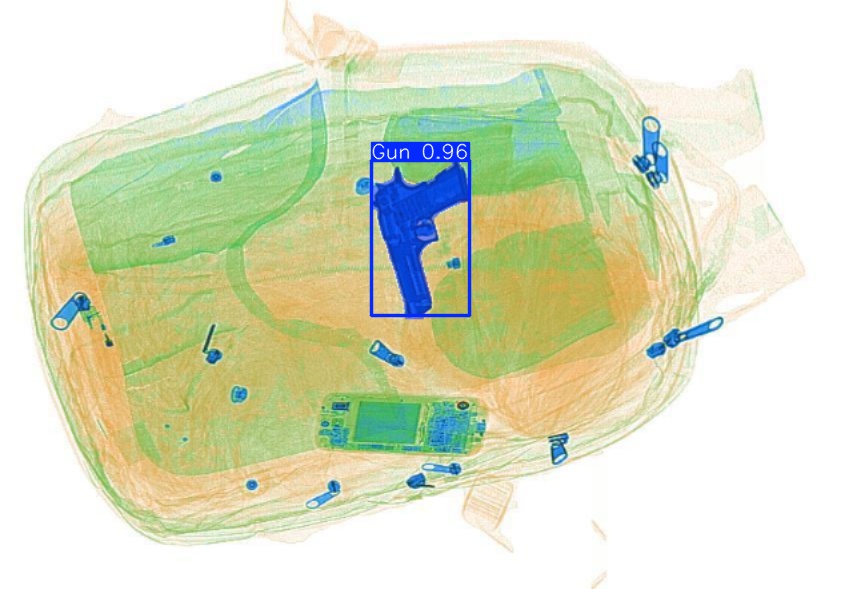
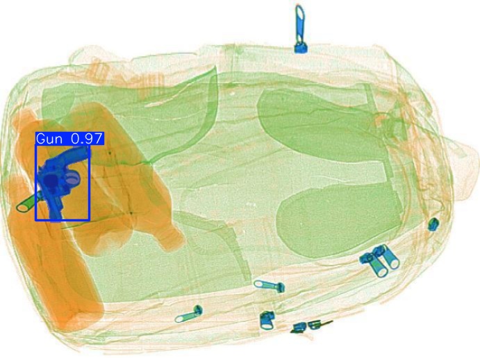
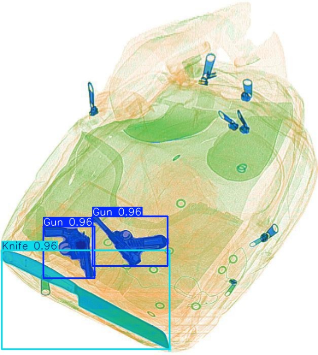
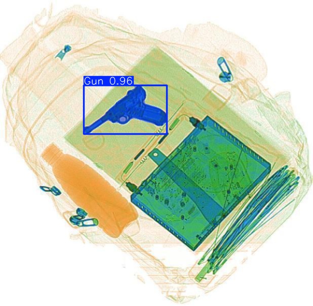
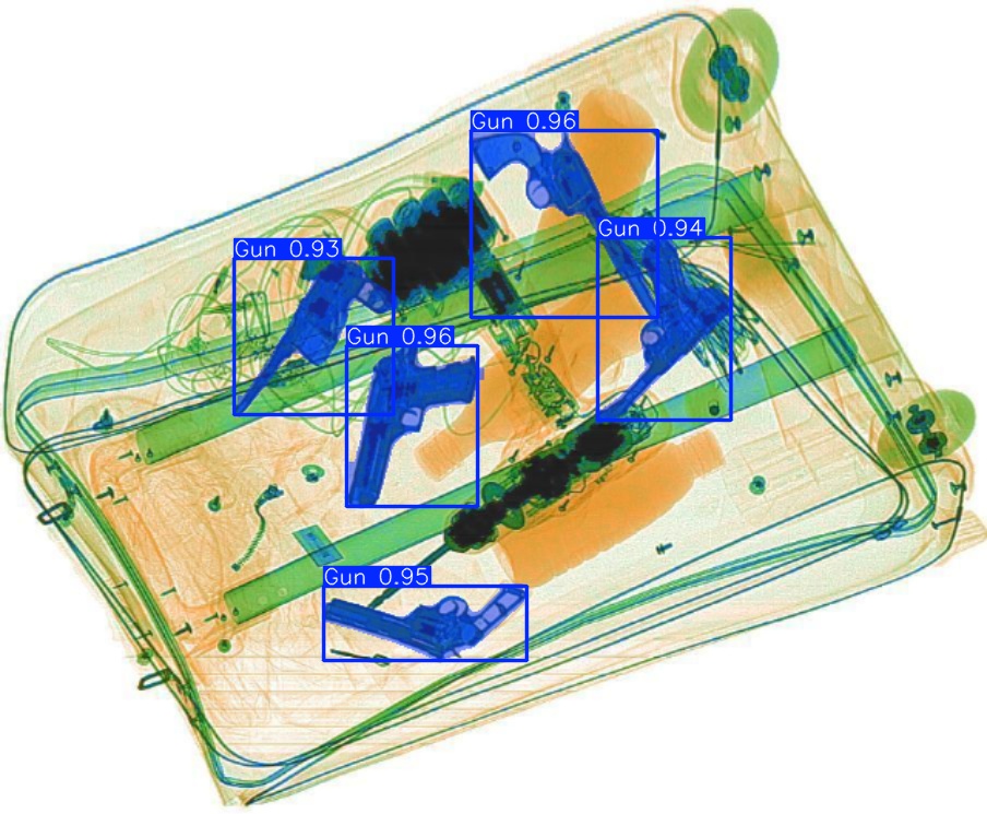
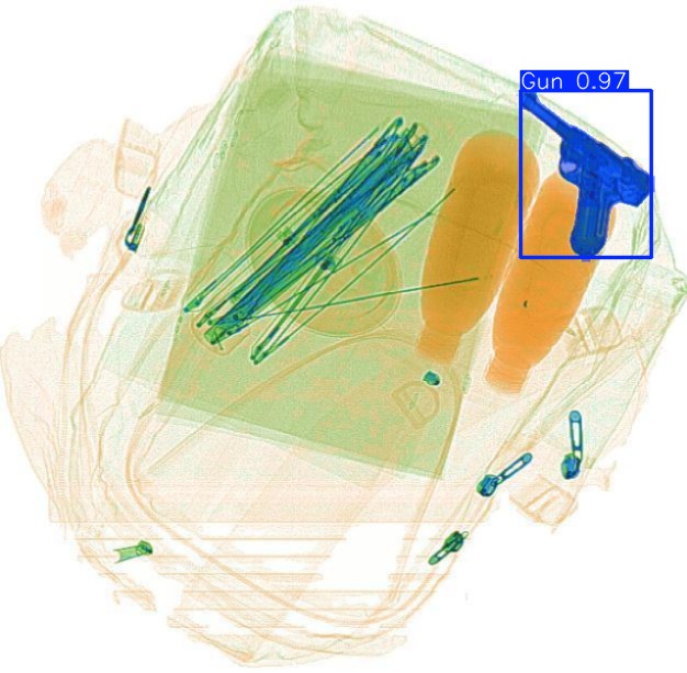
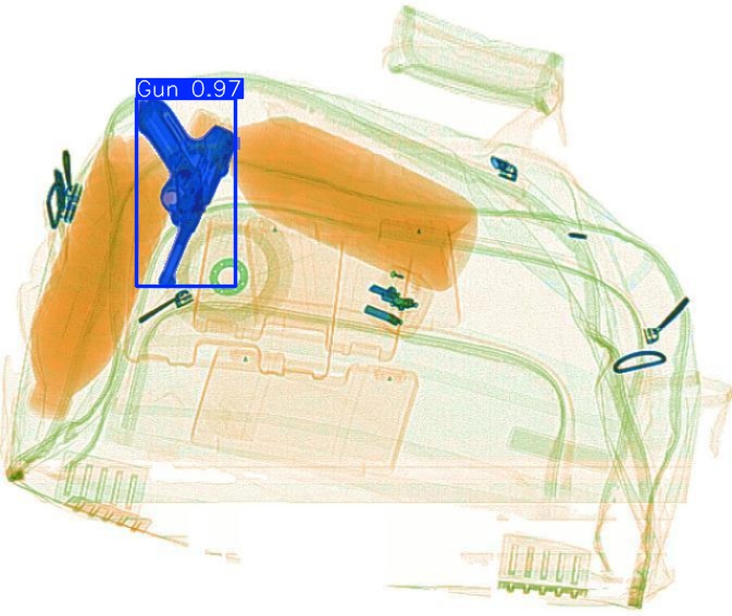
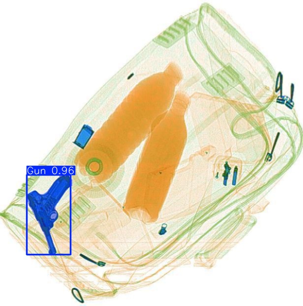
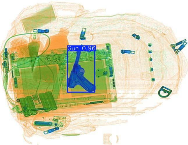
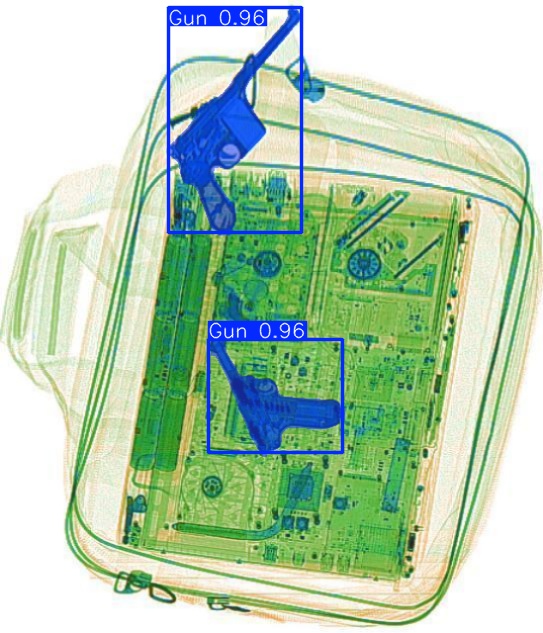
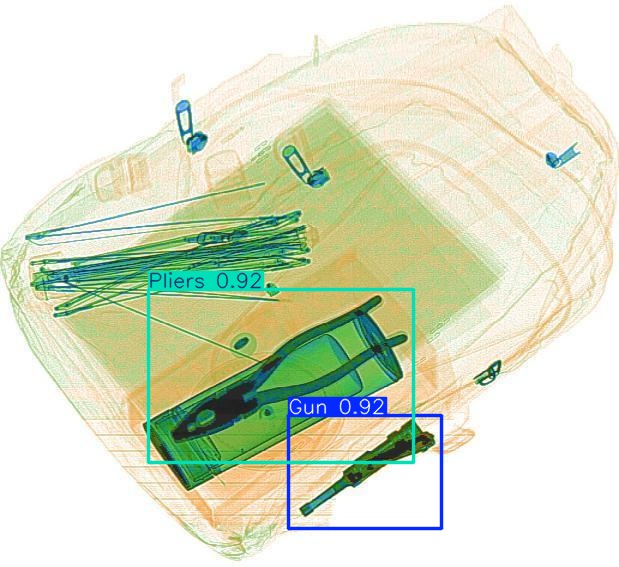
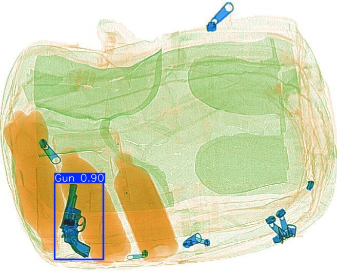
Original Image: P00030.jpg
GT: gun, knife
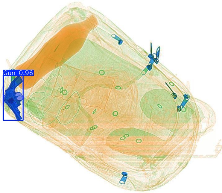
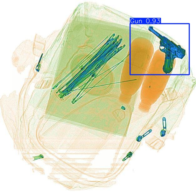
gun, knife Detection preview by Box_v11_medium_train_SIXray_OPIXray gun Detection preview by DN_Medium_300_yolov8m_20t7_new gun, knife Detection preview by Segmentatation_v8_medium_train_250 gun, knife Detection preview by Segmentation_V11_large_300_train_300 gun, knife Detection preview by Segmentation_v8_large_300_train_300
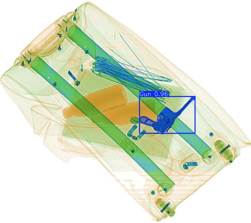
Original Image: P00031.jpg
GT: gun, knife
gun, knife Detection preview by Box_v11_medium_train_SIXray_OPIXray gun Detection preview by DN_Medium_300_yolov8m_20t7_new gun, knife Detection preview by Segmentatation_v8_medium_train_250 gun, knife Detection preview by Segmentation_V11_large_300_train_300 gun, knife Detection preview by Segmentation_v8_large_300_train_300
Original Image: P00032.jpg
GT: gun, knife
gun, knife Detection preview by Box_v11_medium_train_SIXray_OPIXray No objects detected Detection preview by DN_Medium_300_yolov8m_20t7_new gun, knife Detection preview by Segmentatation_v8_medium_train_250 gun, knife Detection preview by Segmentation_V11_large_300_train_300 gun, knife Detection preview by Segmentation_v8_large_300_train_300
Original Image: P00033.jpg
GT: knife
knife Detection preview by Box_v11_medium_train_SIXray_OPIXray No objects detected Detection preview by DN_Medium_300_yolov8m_20t7_new knife Detection preview by Segmentatation_v8_medium_train_250 knife Detection preview by Segmentation_V11_large_300_train_300 knife Detection preview by Segmentation_v8_large_300_train_300
Original Image: P00034.jpg
GT: gun, knife
gun, knife Detection preview by Box_v11_medium_train_SIXray_OPIXray No objects detected Detection preview by DN_Medium_300_yolov8m_20t7_new gun, knife Detection preview by Segmentatation_v8_medium_train_250 gun, knife Detection preview by Segmentation_V11_large_300_train_300 gun, knife Detection preview by Segmentation_v8_large_300_train_300
Original Image: P00035.jpg
GT: gun, knife
gun, knife Detection preview by Box_v11_medium_train_SIXray_OPIXray No objects detected Detection preview by DN_Medium_300_yolov8m_20t7_new gun, knife Detection preview by Segmentatation_v8_medium_train_250 gun, knife Detection preview by Segmentation_V11_large_300_train_300 gun, knife Detection preview by Segmentation_v8_large_300_train_300
Original Image: P00036.jpg
GT: gun, knife
gun, knife Detection preview by Box_v11_medium_train_SIXray_OPIXray No objects detected Detection preview by DN_Medium_300_yolov8m_20t7_new gun, knife Detection preview by Segmentatation_v8_medium_train_250 gun, knife Detection preview by Segmentation_V11_large_300_train_300 gun, knife Detection preview by Segmentation_v8_large_300_train_300
Original Image: P00037.jpg
GT: gun, knife
gun, knife Detection preview by Box_v11_medium_train_SIXray_OPIXray No objects detected Detection preview by DN_Medium_300_yolov8m_20t7_new gun, knife Detection preview by Segmentatation_v8_medium_train_250 gun, knife Detection preview by Segmentation_V11_large_300_train_300 gun, knife Detection preview by Segmentation_v8_large_300_train_300
Original Image: P00038.jpg
GT: knife
knife Detection preview by Box_v11_medium_train_SIXray_OPIXray No objects detected Detection preview by DN_Medium_300_yolov8m_20t7_new knife Detection preview by Segmentatation_v8_medium_train_250 knife Detection preview by Segmentation_V11_large_300_train_300 knife Detection preview by Segmentation_v8_large_300_train_300
Original Image: P00039.jpg
GT: gun, knife
gun, knife Detection preview by Box_v11_medium_train_SIXray_OPIXray No objects detected Detection preview by DN_Medium_300_yolov8m_20t7_new gun, knife Detection preview by Segmentatation_v8_medium_train_250 gun, knife Detection preview by Segmentation_V11_large_300_train_300 gun, knife Detection preview by Segmentation_v8_large_300_train_300
Original Image: P00040.jpg
GT: gun, knife
gun, knife Detection preview by Box_v11_medium_train_SIXray_OPIXray No objects detected Detection preview by DN_Medium_300_yolov8m_20t7_new gun, knife Detection preview by Segmentatation_v8_medium_train_250 gun, knife Detection preview by Segmentation_V11_large_300_train_300 gun, knife Detection preview by Segmentation_v8_large_300_train_300
Original Image: P00041.jpg
GT: gun, knife
gun, knife Detection preview by Box_v11_medium_train_SIXray_OPIXray No objects detected Detection preview by DN_Medium_300_yolov8m_20t7_new gun, knife Detection preview by Segmentatation_v8_medium_train_250 gun, knife Detection preview by Segmentation_V11_large_300_train_300 gun, knife Detection preview by Segmentation_v8_large_300_train_300
Original Image: P00042.jpg
GT: gun, knife
gun, knife Detection preview by Box_v11_medium_train_SIXray_OPIXray No objects detected Detection preview by DN_Medium_300_yolov8m_20t7_new gun, knife Detection preview by Segmentatation_v8_medium_train_250 gun, knife Detection preview by Segmentation_V11_large_300_train_300 gun, knife Detection preview by Segmentation_v8_large_300_train_300
Original Image: P00043.jpg
GT: knife
knife Detection preview by Box_v11_medium_train_SIXray_OPIXray No objects detected Detection preview by DN_Medium_300_yolov8m_20t7_new knife Detection preview by Segmentatation_v8_medium_train_250 knife Detection preview by Segmentation_V11_large_300_train_300 knife Detection preview by Segmentation_v8_large_300_train_300
Original Image: P00044.jpg
GT: knife
knife Detection preview by Box_v11_medium_train_SIXray_OPIXray No objects detected Detection preview by DN_Medium_300_yolov8m_20t7_new knife Detection preview by Segmentatation_v8_medium_train_250 knife Detection preview by Segmentation_V11_large_300_train_300 knife Detection preview by Segmentation_v8_large_300_train_300
Original Image: P00045.jpg
GT: gun, knife
gun, knife Detection preview by Box_v11_medium_train_SIXray_OPIXray No objects detected Detection preview by DN_Medium_300_yolov8m_20t7_new gun, knife Detection preview by Segmentatation_v8_medium_train_250 gun, knife Detection preview by Segmentation_V11_large_300_train_300 gun, knife Detection preview by Segmentation_v8_large_300_train_300
Original Image: P00046.jpg
GT: knife
knife Detection preview by Box_v11_medium_train_SIXray_OPIXray No objects detected Detection preview by DN_Medium_300_yolov8m_20t7_new knife Detection preview by Segmentatation_v8_medium_train_250 knife Detection preview by Segmentation_V11_large_300_train_300 knife Detection preview by Segmentation_v8_large_300_train_300
Original Image: P00047.jpg
GT: gun, knife
gun, knife Detection preview by Box_v11_medium_train_SIXray_OPIXray No objects detected Detection preview by DN_Medium_300_yolov8m_20t7_new gun, knife Detection preview by Segmentatation_v8_medium_train_250 gun, knife Detection preview by Segmentation_V11_large_300_train_300 gun, knife Detection preview by Segmentation_v8_large_300_train_300
Original Image: P00048.jpg
GT: knife
knife Detection preview by Box_v11_medium_train_SIXray_OPIXray No objects detected Detection preview by DN_Medium_300_yolov8m_20t7_new knife Detection preview by Segmentatation_v8_medium_train_250 knife Detection preview by Segmentation_V11_large_300_train_300 knife Detection preview by Segmentation_v8_large_300_train_300
Original Image: P00049.jpg
GT: gun, knife
gun, knife Detection preview by Box_v11_medium_train_SIXray_OPIXray No objects detected Detection preview by DN_Medium_300_yolov8m_20t7_new gun, knife Detection preview by Segmentatation_v8_medium_train_250 gun, knife Detection preview by Segmentation_V11_large_300_train_300 gun, knife Detection preview by Segmentation_v8_large_300_train_300
Original Image: P00050.jpg
GT: gun, knife
gun, knife Detection preview by Box_v11_medium_train_SIXray_OPIXray No objects detected Detection preview by DN_Medium_300_yolov8m_20t7_new gun, knife Detection preview by Segmentatation_v8_medium_train_250 gun, knife Detection preview by Segmentation_V11_large_300_train_300 gun, knife Detection preview by Segmentation_v8_large_300_train_300
Original Image: P00051.jpg
GT: knife
knife Detection preview by Box_v11_medium_train_SIXray_OPIXray No objects detected Detection preview by DN_Medium_300_yolov8m_20t7_new knife Detection preview by Segmentatation_v8_medium_train_250 knife Detection preview by Segmentation_V11_large_300_train_300 knife Detection preview by Segmentation_v8_large_300_train_300
Original Image: P00052.jpg
GT: knife
knife Detection preview by Box_v11_medium_train_SIXray_OPIXray No objects detected Detection preview by DN_Medium_300_yolov8m_20t7_new knife Detection preview by Segmentatation_v8_medium_train_250 knife Detection preview by Segmentation_V11_large_300_train_300 knife Detection preview by Segmentation_v8_large_300_train_300
Original Image: P00053.jpg
GT: gun, knife
gun, knife Detection preview by Box_v11_medium_train_SIXray_OPIXray No objects detected Detection preview by DN_Medium_300_yolov8m_20t7_new gun, knife Detection preview by Segmentatation_v8_medium_train_250 gun, knife Detection preview by Segmentation_V11_large_300_train_300 gun, knife Detection preview by Segmentation_v8_large_300_train_300
Original Image: P00054.jpg
GT: knife
knife Detection preview by Box_v11_medium_train_SIXray_OPIXray No objects detected Detection preview by DN_Medium_300_yolov8m_20t7_new knife Detection preview by Segmentatation_v8_medium_train_250 knife Detection preview by Segmentation_V11_large_300_train_300 knife Detection preview by Segmentation_v8_large_300_train_300
Original Image: P00055.jpg
GT: gun, knife
gun, knife Detection preview by Box_v11_medium_train_SIXray_OPIXray No objects detected Detection preview by DN_Medium_300_yolov8m_20t7_new gun, knife Detection preview by Segmentatation_v8_medium_train_250 gun, knife Detection preview by Segmentation_V11_large_300_train_300 gun, knife Detection preview by Segmentation_v8_large_300_train_300
Original Image: P00056.jpg
GT: knife
knife Detection preview by Box_v11_medium_train_SIXray_OPIXray No objects detected Detection preview by DN_Medium_300_yolov8m_20t7_new knife Detection preview by Segmentatation_v8_medium_train_250 knife Detection preview by Segmentation_V11_large_300_train_300 knife Detection preview by Segmentation_v8_large_300_train_300
Original Image: P00057.jpg
GT: gun, knife
gun, knife Detection preview by Box_v11_medium_train_SIXray_OPIXray No objects detected Detection preview by DN_Medium_300_yolov8m_20t7_new gun, knife Detection preview by Segmentatation_v8_medium_train_250 gun, knife Detection preview by Segmentation_V11_large_300_train_300 gun, knife Detection preview by Segmentation_v8_large_300_train_300
Original Image: P00058.jpg
GT: gun, knife
gun, knife Detection preview by Box_v11_medium_train_SIXray_OPIXray No objects detected Detection preview by DN_Medium_300_yolov8m_20t7_new gun, knife Detection preview by Segmentatation_v8_medium_train_250 gun, knife Detection preview by Segmentation_V11_large_300_train_300 gun, knife Detection preview by Segmentation_v8_large_300_train_300
Original Image: P00059.jpg
GT: gun, knife
gun, knife Detection preview by Box_v11_medium_train_SIXray_OPIXray gun Detection preview by DN_Medium_300_yolov8m_20t7_new gun, knife Detection preview by Segmentatation_v8_medium_train_250 gun, knife Detection preview by Segmentation_V11_large_300_train_300 gun, knife Detection preview by Segmentation_v8_large_300_train_300
Original Image: P00060.jpg
GT: gun, knife
gun, knife Detection preview by Box_v11_medium_train_SIXray_OPIXray No objects detected Detection preview by DN_Medium_300_yolov8m_20t7_new gun, knife Detection preview by Segmentatation_v8_medium_train_250 gun, knife Detection preview by Segmentation_V11_large_300_train_300 gun, knife Detection preview by Segmentation_v8_large_300_train_300
Original Image: P00061.jpg
GT: knife
knife Detection preview by Box_v11_medium_train_SIXray_OPIXray No objects detected Detection preview by DN_Medium_300_yolov8m_20t7_new knife Detection preview by Segmentatation_v8_medium_train_250 knife Detection preview by Segmentation_V11_large_300_train_300 knife Detection preview by Segmentation_v8_large_300_train_300
Original Image: P00062.jpg
GT: knife
knife Detection preview by Box_v11_medium_train_SIXray_OPIXray No objects detected Detection preview by DN_Medium_300_yolov8m_20t7_new knife Detection preview by Segmentatation_v8_medium_train_250 knife Detection preview by Segmentation_V11_large_300_train_300 knife Detection preview by Segmentation_v8_large_300_train_300
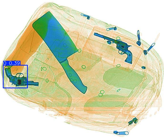
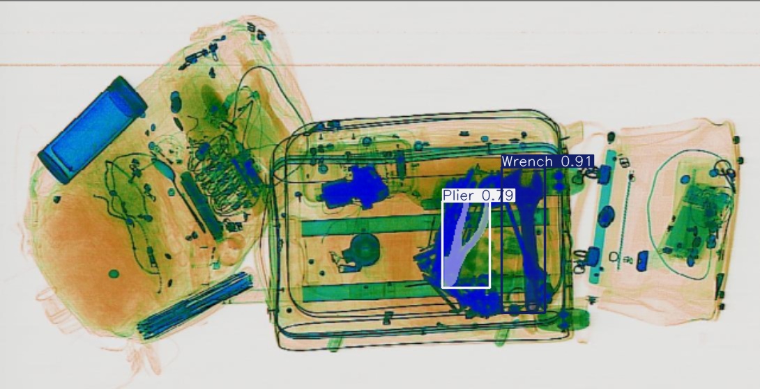
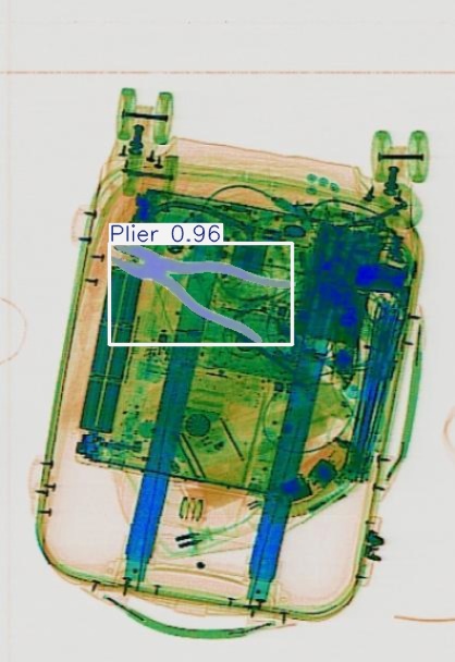
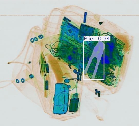
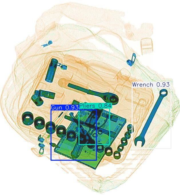
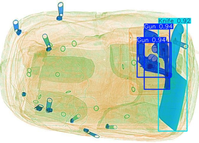
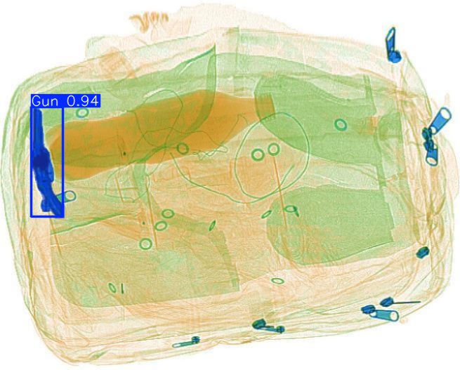
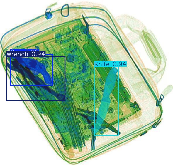
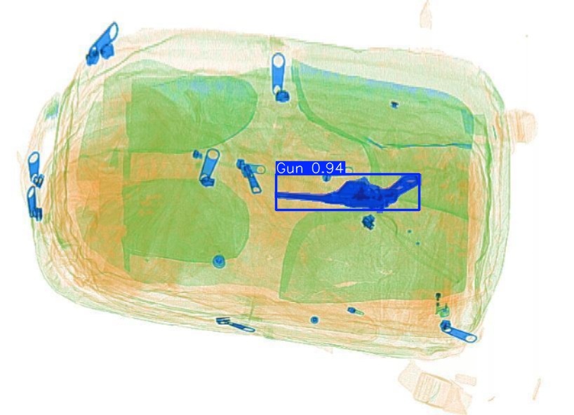
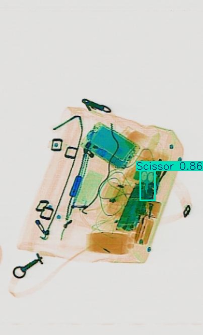
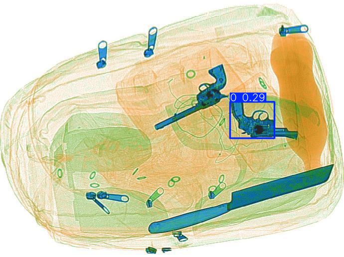
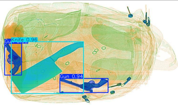
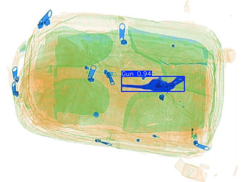
Original Image: P00063.jpg
GT: knife
gun, knife Detection preview by Box_v11_medium_train_SIXray_OPIXray No objects detected Detection preview by DN_Medium_300_yolov8m_20t7_new gun, knife Detection preview by Segmentatation_v8_medium_train_250 gun, knife Detection preview by Segmentation_V11_large_300_train_300 gun, knife Detection preview by Segmentation_v8_large_300_train_300
Original Image: P00064.jpg
GT: gun, knife
gun, knife Detection preview by Box_v11_medium_train_SIXray_OPIXray No objects detected Detection preview by DN_Medium_300_yolov8m_20t7_new gun, knife Detection preview by Segmentatation_v8_medium_train_250 gun, knife Detection preview by Segmentation_V11_large_300_train_300 gun, knife Detection preview by Segmentation_v8_large_300_train_300
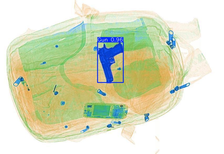
Original Image: P00065.jpg
GT: gun, knife
gun, knife Detection preview by Box_v11_medium_train_SIXray_OPIXray gun Detection preview by DN_Medium_300_yolov8m_20t7_new gun, knife Detection preview by Segmentatation_v8_medium_train_250 gun, knife Detection preview by Segmentation_V11_large_300_train_300 gun, knife Detection preview by Segmentation_v8_large_300_train_300
Original Image: P00066.jpg
GT: knife
knife Detection preview by Box_v11_medium_train_SIXray_OPIXray No objects detected Detection preview by DN_Medium_300_yolov8m_20t7_new knife Detection preview by Segmentatation_v8_medium_train_250 knife Detection preview by Segmentation_V11_large_300_train_300 knife Detection preview by Segmentation_v8_large_300_train_300
Original Image: P00067.jpg
GT: knife
knife Detection preview by Box_v11_medium_train_SIXray_OPIXray No objects detected Detection preview by DN_Medium_300_yolov8m_20t7_new knife Detection preview by Segmentatation_v8_medium_train_250 knife Detection preview by Segmentation_V11_large_300_train_300 knife Detection preview by Segmentation_v8_large_300_train_300
Original Image: P00068.jpg
GT: gun, knife
gun, knife Detection preview by Box_v11_medium_train_SIXray_OPIXray No objects detected Detection preview by DN_Medium_300_yolov8m_20t7_new gun, knife Detection preview by Segmentatation_v8_medium_train_250 gun, knife Detection preview by Segmentation_V11_large_300_train_300 gun, knife Detection preview by Segmentation_v8_large_300_train_300
Original Image: P00069.jpg
GT: gun, knife
gun, knife Detection preview by Box_v11_medium_train_SIXray_OPIXray No objects detected Detection preview by DN_Medium_300_yolov8m_20t7_new gun, knife Detection preview by Segmentatation_v8_medium_train_250 gun, knife Detection preview by Segmentation_V11_large_300_train_300 gun, knife Detection preview by Segmentation_v8_large_300_train_300
Original Image: P00070.jpg
GT: gun, knife
gun, knife Detection preview by Box_v11_medium_train_SIXray_OPIXray No objects detected Detection preview by DN_Medium_300_yolov8m_20t7_new gun, knife Detection preview by Segmentatation_v8_medium_train_250 gun, knife Detection preview by Segmentation_V11_large_300_train_300 gun, knife Detection preview by Segmentation_v8_large_300_train_300
Original Image: P00071.jpg
GT: gun, knife
gun, knife Detection preview by Box_v11_medium_train_SIXray_OPIXray gun Detection preview by DN_Medium_300_yolov8m_20t7_new gun, knife Detection preview by Segmentatation_v8_medium_train_250 gun, knife Detection preview by Segmentation_V11_large_300_train_300 gun, knife Detection preview by Segmentation_v8_large_300_train_300
Original Image: P00072.jpg
GT: knife
knife Detection preview by Box_v11_medium_train_SIXray_OPIXray No objects detected Detection preview by DN_Medium_300_yolov8m_20t7_new knife Detection preview by Segmentatation_v8_medium_train_250 knife Detection preview by Segmentation_V11_large_300_train_300 knife Detection preview by Segmentation_v8_large_300_train_300
Original Image: P00073.jpg
GT: knife
knife Detection preview by Box_v11_medium_train_SIXray_OPIXray No objects detected Detection preview by DN_Medium_300_yolov8m_20t7_new knife Detection preview by Segmentatation_v8_medium_train_250 knife Detection preview by Segmentation_V11_large_300_train_300 knife Detection preview by Segmentation_v8_large_300_train_300
Original Image: P00074.jpg
GT: knife
knife Detection preview by Box_v11_medium_train_SIXray_OPIXray No objects detected Detection preview by DN_Medium_300_yolov8m_20t7_new knife Detection preview by Segmentatation_v8_medium_train_250 knife Detection preview by Segmentation_V11_large_300_train_300 knife Detection preview by Segmentation_v8_large_300_train_300
Original Image: P00075.jpg
GT: knife
knife Detection preview by Box_v11_medium_train_SIXray_OPIXray No objects detected Detection preview by DN_Medium_300_yolov8m_20t7_new knife Detection preview by Segmentatation_v8_medium_train_250 knife Detection preview by Segmentation_V11_large_300_train_300 knife Detection preview by Segmentation_v8_large_300_train_300
Original Image: P00076.jpg
GT: gun, knife
gun, knife Detection preview by Box_v11_medium_train_SIXray_OPIXray No objects detected Detection preview by DN_Medium_300_yolov8m_20t7_new gun, knife Detection preview by Segmentatation_v8_medium_train_250 gun, knife Detection preview by Segmentation_V11_large_300_train_300 gun, knife Detection preview by Segmentation_v8_large_300_train_300
Original Image: P00077.jpg
GT: knife
knife Detection preview by Box_v11_medium_train_SIXray_OPIXray No objects detected Detection preview by DN_Medium_300_yolov8m_20t7_new knife Detection preview by Segmentatation_v8_medium_train_250 knife Detection preview by Segmentation_V11_large_300_train_300 knife Detection preview by Segmentation_v8_large_300_train_300
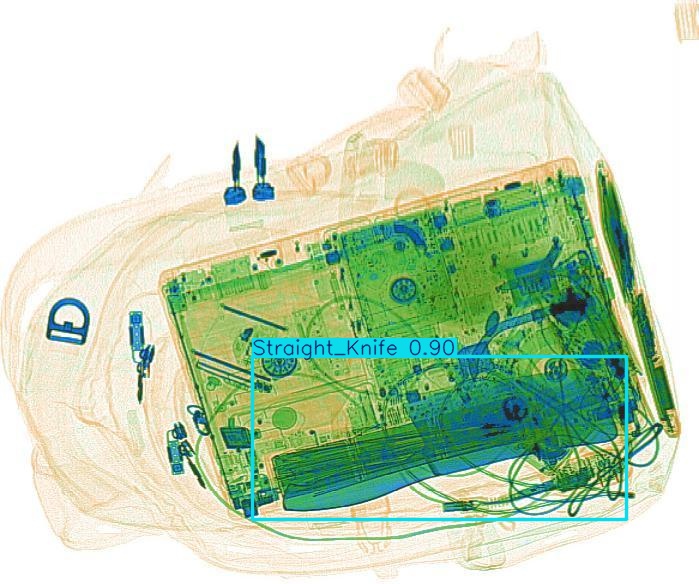
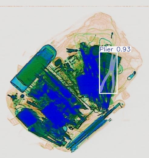
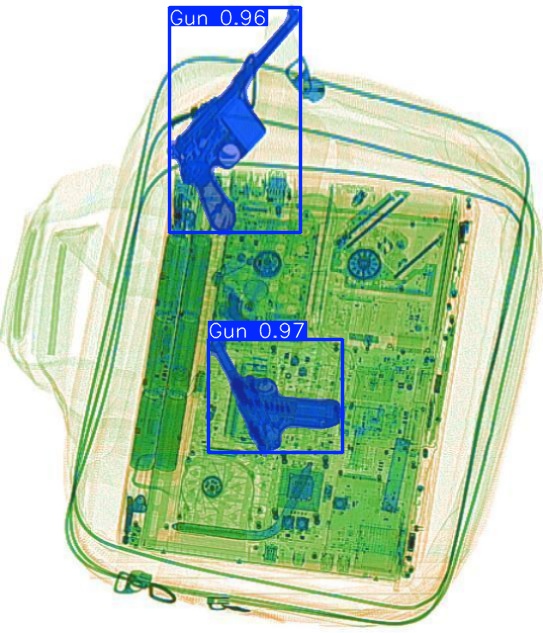
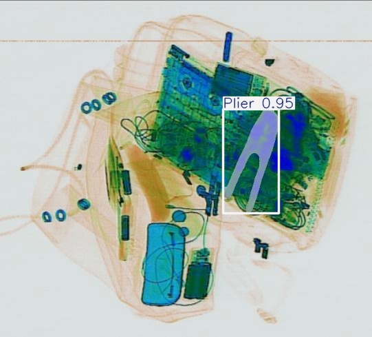
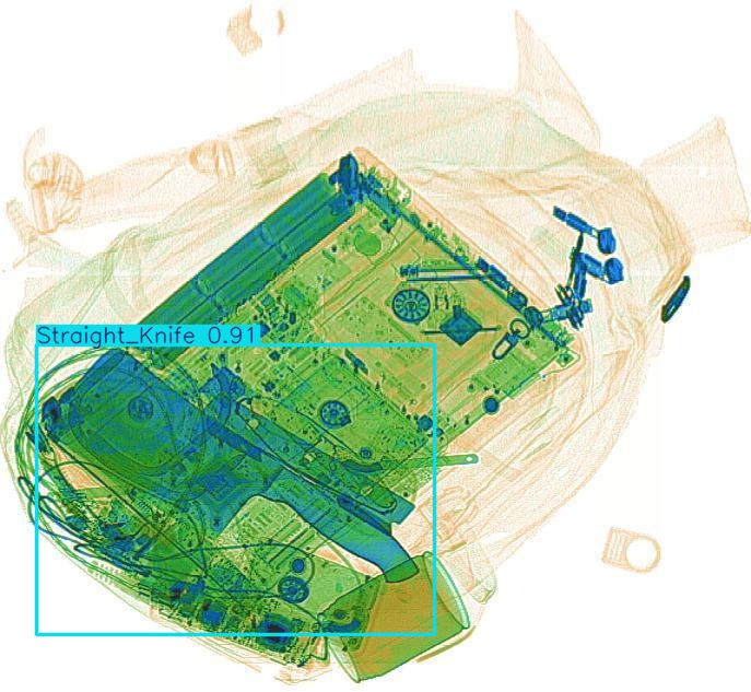
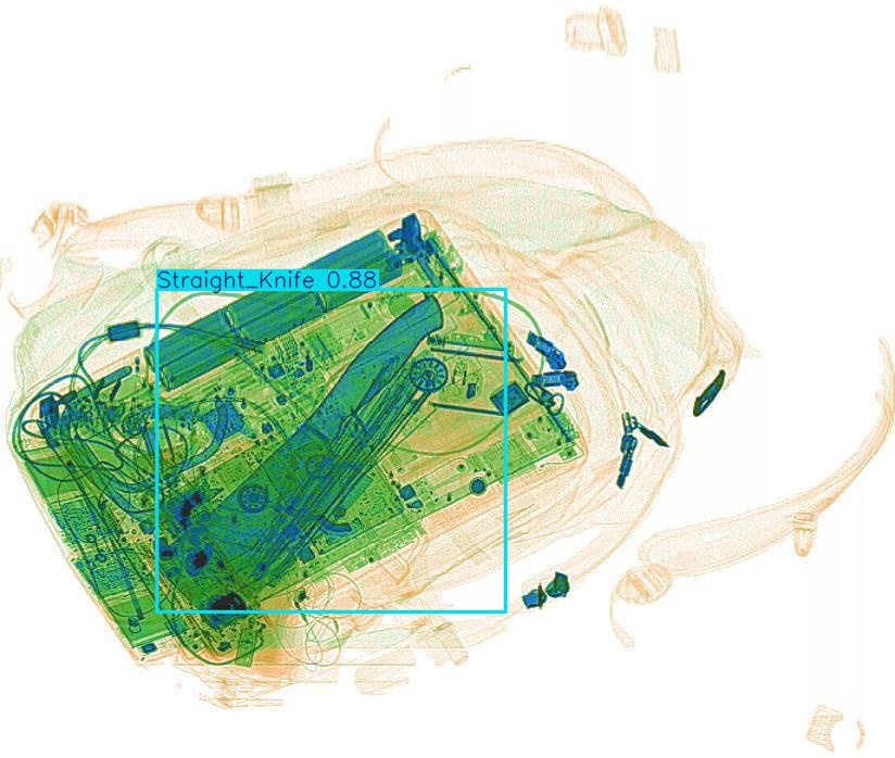
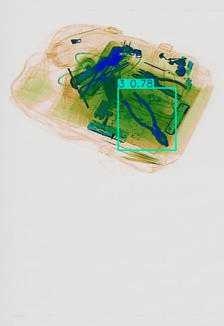
Original Image: P00078.jpg
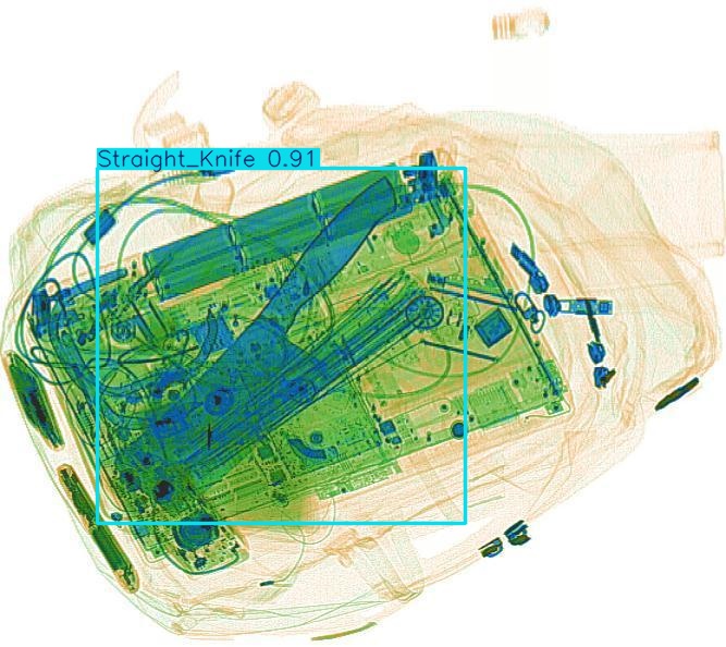
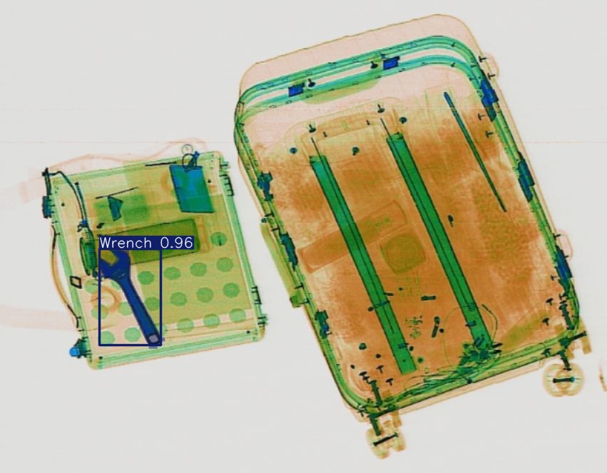
GT: knife
knife Detection preview by Box_v11_medium_train_SIXray_OPIXray knife Detection preview by DN_Medium_300_yolov8m_20t7_new knife Detection preview by Segmentatation_v8_medium_train_250 knife Detection preview by Segmentation_V11_large_300_train_300 knife Detection preview by Segmentation_v8_large_300_train_300
Original Image: P00079.jpg
GT: knife
knife Detection preview by Box_v11_medium_train_SIXray_OPIXray No objects detected Detection preview by DN_Medium_300_yolov8m_20t7_new knife Detection preview by Segmentatation_v8_medium_train_250 knife Detection preview by Segmentation_V11_large_300_train_300 knife Detection preview by Segmentation_v8_large_300_train_300
Original Image: P00080.jpg
GT: gun, knife
gun, knife Detection preview by Box_v11_medium_train_SIXray_OPIXray gun Detection preview by DN_Medium_300_yolov8m_20t7_new gun, knife Detection preview by Segmentatation_v8_medium_train_250 gun, knife Detection preview by Segmentation_V11_large_300_train_300 gun, knife Detection preview by Segmentation_v8_large_300_train_300
Original Image: P00081.jpg
GT: gun, knife
gun, knife Detection preview by Box_v11_medium_train_SIXray_OPIXray No objects detected Detection preview by DN_Medium_300_yolov8m_20t7_new gun, knife Detection preview by Segmentatation_v8_medium_train_250 gun, knife Detection preview by Segmentation_V11_large_300_train_300 gun, knife Detection preview by Segmentation_v8_large_300_train_300
Original Image: P00082.jpg
GT: gun, knife
gun, knife Detection preview by Box_v11_medium_train_SIXray_OPIXray No objects detected Detection preview by DN_Medium_300_yolov8m_20t7_new gun, knife Detection preview by Segmentatation_v8_medium_train_250 gun, knife Detection preview by Segmentation_V11_large_300_train_300 gun, knife Detection preview by Segmentation_v8_large_300_train_300
Original Image: P00083.jpg
GT: gun, knife
gun, knife Detection preview by Box_v11_medium_train_SIXray_OPIXray No objects detected Detection preview by DN_Medium_300_yolov8m_20t7_new gun, knife Detection preview by Segmentatation_v8_medium_train_250 gun, knife Detection preview by Segmentation_V11_large_300_train_300 gun, knife Detection preview by Segmentation_v8_large_300_train_300
Original Image: P00084.jpg
GT: gun, knife
gun, knife Detection preview by Box_v11_medium_train_SIXray_OPIXray gun Detection preview by DN_Medium_300_yolov8m_20t7_new gun, knife Detection preview by Segmentatation_v8_medium_train_250 gun, knife Detection preview by Segmentation_V11_large_300_train_300 gun, knife Detection preview by Segmentation_v8_large_300_train_300
Original Image: P00085.jpg
GT: gun, knife
gun, knife Detection preview by Box_v11_medium_train_SIXray_OPIXray No objects detected Detection preview by DN_Medium_300_yolov8m_20t7_new gun, knife Detection preview by Segmentatation_v8_medium_train_250 gun, knife Detection preview by Segmentation_V11_large_300_train_300 gun, knife Detection preview by Segmentation_v8_large_300_train_300
Original Image: P00086.jpg
GT: gun, knife
gun, knife Detection preview by Box_v11_medium_train_SIXray_OPIXray No objects detected Detection preview by DN_Medium_300_yolov8m_20t7_new gun, knife Detection preview by Segmentatation_v8_medium_train_250 gun, knife Detection preview by Segmentation_V11_large_300_train_300 gun, knife Detection preview by Segmentation_v8_large_300_train_300
Original Image: P00087.jpg
GT: gun, knife
gun, knife Detection preview by Box_v11_medium_train_SIXray_OPIXray No objects detected Detection preview by DN_Medium_300_yolov8m_20t7_new gun, knife Detection preview by Segmentatation_v8_medium_train_250 gun, knife Detection preview by Segmentation_V11_large_300_train_300 gun, knife Detection preview by Segmentation_v8_large_300_train_300
Original Image: P00088.jpg
GT: gun, knife
gun, knife Detection preview by Box_v11_medium_train_SIXray_OPIXray No objects detected Detection preview by DN_Medium_300_yolov8m_20t7_new gun, knife Detection preview by Segmentatation_v8_medium_train_250 gun, knife Detection preview by Segmentation_V11_large_300_train_300 gun, knife Detection preview by Segmentation_v8_large_300_train_300
Original Image: P00089.jpg
GT: gun, knife
gun, knife Detection preview by Box_v11_medium_train_SIXray_OPIXray No objects detected Detection preview by DN_Medium_300_yolov8m_20t7_new gun, knife Detection preview by Segmentatation_v8_medium_train_250 gun, knife Detection preview by Segmentation_V11_large_300_train_300 gun, knife Detection preview by Segmentation_v8_large_300_train_300
Original Image: P00090.jpg
GT: gun, knife
gun, knife Detection preview by Box_v11_medium_train_SIXray_OPIXray No objects detected Detection preview by DN_Medium_300_yolov8m_20t7_new gun, knife Detection preview by Segmentatation_v8_medium_train_250 gun, knife Detection preview by Segmentation_V11_large_300_train_300 gun, knife Detection preview by Segmentation_v8_large_300_train_300
Original Image: P00091.jpg
GT: gun, knife
gun, knife Detection preview by Box_v11_medium_train_SIXray_OPIXray gun Detection preview by DN_Medium_300_yolov8m_20t7_new gun, knife Detection preview by Segmentatation_v8_medium_train_250 gun, knife Detection preview by Segmentation_V11_large_300_train_300 gun, knife Detection preview by Segmentation_v8_large_300_train_300
Original Image: P00092.jpg
GT: gun, knife
gun, knife Detection preview by Box_v11_medium_train_SIXray_OPIXray gun Detection preview by DN_Medium_300_yolov8m_20t7_new gun, knife Detection preview by Segmentatation_v8_medium_train_250 gun, knife Detection preview by Segmentation_V11_large_300_train_300 gun, knife Detection preview by Segmentation_v8_large_300_train_300
Original Image: P00093.jpg
GT: gun, knife
gun, knife Detection preview by Box_v11_medium_train_SIXray_OPIXray gun Detection preview by DN_Medium_300_yolov8m_20t7_new gun, knife Detection preview by Segmentatation_v8_medium_train_250 gun, knife Detection preview by Segmentation_V11_large_300_train_300 gun, knife Detection preview by Segmentation_v8_large_300_train_300
Original Image: P00094.jpg
GT: gun, knife
gun, knife Detection preview by Box_v11_medium_train_SIXray_OPIXray No objects detected Detection preview by DN_Medium_300_yolov8m_20t7_new gun, knife Detection preview by Segmentatation_v8_medium_train_250 gun, knife Detection preview by Segmentation_V11_large_300_train_300 gun, knife Detection preview by Segmentation_v8_large_300_train_300
Original Image: P00095.jpg
GT: gun, knife
gun, knife Detection preview by Box_v11_medium_train_SIXray_OPIXray No objects detected Detection preview by DN_Medium_300_yolov8m_20t7_new gun, knife Detection preview by Segmentatation_v8_medium_train_250 gun, knife Detection preview by Segmentation_V11_large_300_train_300 gun, knife Detection preview by Segmentation_v8_large_300_train_300
Original Image: P00096.jpg
GT: gun, knife
gun, knife Detection preview by Box_v11_medium_train_SIXray_OPIXray gun Detection preview by DN_Medium_300_yolov8m_20t7_new gun, knife Detection preview by Segmentatation_v8_medium_train_250 gun, knife Detection preview by Segmentation_V11_large_300_train_300 gun, knife Detection preview by Segmentation_v8_large_300_train_300
Original Image: P00097.jpg
GT: gun, knife
gun, knife Detection preview by Box_v11_medium_train_SIXray_OPIXray gun Detection preview by DN_Medium_300_yolov8m_20t7_new gun, knife Detection preview by Segmentatation_v8_medium_train_250 gun, knife Detection preview by Segmentation_V11_large_300_train_300 gun, knife Detection preview by Segmentation_v8_large_300_train_300
Original Image: P00098.jpg
GT: gun, knife
gun, knife Detection preview by Box_v11_medium_train_SIXray_OPIXray gun Detection preview by DN_Medium_300_yolov8m_20t7_new gun, knife Detection preview by Segmentatation_v8_medium_train_250 gun, knife Detection preview by Segmentation_V11_large_300_train_300 gun, knife Detection preview by Segmentation_v8_large_300_train_300
Original Image: P00099.jpg
GT: gun, knife
gun, knife Detection preview by Box_v11_medium_train_SIXray_OPIXray gun Detection preview by DN_Medium_300_yolov8m_20t7_new gun, knife Detection preview by Segmentatation_v8_medium_train_250 gun, knife Detection preview by Segmentation_V11_large_300_train_300 gun, knife Detection preview by Segmentation_v8_large_300_train_300
Original Image: P00100.jpg
GT: gun, knife
gun, knife Detection preview by Box_v11_medium_train_SIXray_OPIXray gun Detection preview by DN_Medium_300_yolov8m_20t7_new gun, knife Detection preview by Segmentatation_v8_medium_train_250 gun, knife Detection preview by Segmentation_V11_large_300_train_300 gun, knife Detection preview by Segmentation_v8_large_300_train_300
Original Image: P00101.jpg
GT: gun, knife
gun, knife Detection preview by Box_v11_medium_train_SIXray_OPIXray gun Detection preview by DN_Medium_300_yolov8m_20t7_new gun, knife Detection preview by Segmentatation_v8_medium_train_250 gun, knife Detection preview by Segmentation_V11_large_300_train_300 gun, knife Detection preview by Segmentation_v8_large_300_train_300
Original Image: P00102.jpg
GT: gun, knife
gun, knife Detection preview by Box_v11_medium_train_SIXray_OPIXray gun Detection preview by DN_Medium_300_yolov8m_20t7_new gun, knife Detection preview by Segmentatation_v8_medium_train_250 gun, knife Detection preview by Segmentation_V11_large_300_train_300 gun, knife Detection preview by Segmentation_v8_large_300_train_300
Original Image: P00103.jpg
GT: gun, knife
gun, knife Detection preview by Box_v11_medium_train_SIXray_OPIXray gun Detection preview by DN_Medium_300_yolov8m_20t7_new gun, knife Detection preview by Segmentatation_v8_medium_train_250 gun, knife Detection preview by Segmentation_V11_large_300_train_300 gun, knife Detection preview by Segmentation_v8_large_300_train_300
Original Image: P00104.jpg
GT: gun, knife
gun, knife Detection preview by Box_v11_medium_train_SIXray_OPIXray gun Detection preview by DN_Medium_300_yolov8m_20t7_new gun, knife Detection preview by Segmentatation_v8_medium_train_250 gun, knife Detection preview by Segmentation_V11_large_300_train_300 gun, knife Detection preview by Segmentation_v8_large_300_train_300
Original Image: P00105.jpg
GT: gun, knife
gun, knife Detection preview by Box_v11_medium_train_SIXray_OPIXray gun Detection preview by DN_Medium_300_yolov8m_20t7_new gun, knife Detection preview by Segmentatation_v8_medium_train_250 gun, knife Detection preview by Segmentation_V11_large_300_train_300 gun, knife Detection preview by Segmentation_v8_large_300_train_300
Original Image: P00106.jpg
GT: gun, knife
gun, knife Detection preview by Box_v11_medium_train_SIXray_OPIXray No objects detected Detection preview by DN_Medium_300_yolov8m_20t7_new gun, knife Detection preview by Segmentatation_v8_medium_train_250 gun, knife Detection preview by Segmentation_V11_large_300_train_300 gun, knife Detection preview by Segmentation_v8_large_300_train_300
Original Image: P00107.jpg
GT: gun, knife
gun, knife Detection preview by Box_v11_medium_train_SIXray_OPIXray gun Detection preview by DN_Medium_300_yolov8m_20t7_new gun, knife Detection preview by Segmentatation_v8_medium_train_250 gun, knife Detection preview by Segmentation_V11_large_300_train_300 gun, knife Detection preview by Segmentation_v8_large_300_train_300
Original Image: P00108.jpg
GT: gun, knife
gun, knife Detection preview by Box_v11_medium_train_SIXray_OPIXray gun Detection preview by DN_Medium_300_yolov8m_20t7_new gun, knife Detection preview by Segmentatation_v8_medium_train_250 gun, knife Detection preview by Segmentation_V11_large_300_train_300 gun, knife Detection preview by Segmentation_v8_large_300_train_300
Original Image: P00109.jpg
GT: gun, knife
gun, knife Detection preview by Box_v11_medium_train_SIXray_OPIXray gun Detection preview by DN_Medium_300_yolov8m_20t7_new gun, knife Detection preview by Segmentatation_v8_medium_train_250 gun, knife Detection preview by Segmentation_V11_large_300_train_300 gun, knife Detection preview by Segmentation_v8_large_300_train_300
Original Image: P00110.jpg
GT: gun, knife
gun, knife Detection preview by Box_v11_medium_train_SIXray_OPIXray gun Detection preview by DN_Medium_300_yolov8m_20t7_new gun, knife Detection preview by Segmentatation_v8_medium_train_250 gun, knife Detection preview by Segmentation_V11_large_300_train_300 gun, knife Detection preview by Segmentation_v8_large_300_train_300
Original Image: P00111.jpg
GT: gun, knife
gun, knife Detection preview by Box_v11_medium_train_SIXray_OPIXray gun Detection preview by DN_Medium_300_yolov8m_20t7_new gun, knife Detection preview by Segmentatation_v8_medium_train_250 gun, knife Detection preview by Segmentation_V11_large_300_train_300 gun, knife Detection preview by Segmentation_v8_large_300_train_300
Original Image: P00112.jpg
GT: gun, knife
gun, knife Detection preview by Box_v11_medium_train_SIXray_OPIXray gun Detection preview by DN_Medium_300_yolov8m_20t7_new gun, knife Detection preview by Segmentatation_v8_medium_train_250 gun, knife Detection preview by Segmentation_V11_large_300_train_300 gun, knife Detection preview by Segmentation_v8_large_300_train_300
Original Image: P00113.jpg
GT: gun, knife
gun, knife Detection preview by Box_v11_medium_train_SIXray_OPIXray gun Detection preview by DN_Medium_300_yolov8m_20t7_new gun, knife Detection preview by Segmentatation_v8_medium_train_250 gun, knife Detection preview by Segmentation_V11_large_300_train_300 gun, knife Detection preview by Segmentation_v8_large_300_train_300
Original Image: P00114.jpg
GT: gun, knife
gun, knife Detection preview by Box_v11_medium_train_SIXray_OPIXray gun Detection preview by DN_Medium_300_yolov8m_20t7_new gun, knife Detection preview by Segmentatation_v8_medium_train_250 gun, knife Detection preview by Segmentation_V11_large_300_train_300 gun, knife Detection preview by Segmentation_v8_large_300_train_300
Original Image: P00115.jpg
GT: gun, knife
gun, knife Detection preview by Box_v11_medium_train_SIXray_OPIXray gun Detection preview by DN_Medium_300_yolov8m_20t7_new gun, knife Detection preview by Segmentatation_v8_medium_train_250 gun, knife Detection preview by Segmentation_V11_large_300_train_300 gun, knife Detection preview by Segmentation_v8_large_300_train_300
Original Image: P00116.jpg
GT: gun, knife
gun, knife Detection preview by Box_v11_medium_train_SIXray_OPIXray gun Detection preview by DN_Medium_300_yolov8m_20t7_new gun, knife Detection preview by Segmentatation_v8_medium_train_250 gun, knife Detection preview by Segmentation_V11_large_300_train_300 gun, knife Detection preview by Segmentation_v8_large_300_train_300
Original Image: P00117.jpg
GT: gun, knife
gun, knife Detection preview by Box_v11_medium_train_SIXray_OPIXray gun Detection preview by DN_Medium_300_yolov8m_20t7_new gun, knife Detection preview by Segmentatation_v8_medium_train_250 gun, knife Detection preview by Segmentation_V11_large_300_train_300 gun, knife Detection preview by Segmentation_v8_large_300_train_300
Original Image: P00118.jpg
GT: gun, knife
gun, knife Detection preview by Box_v11_medium_train_SIXray_OPIXray gun Detection preview by DN_Medium_300_yolov8m_20t7_new gun, knife Detection preview by Segmentatation_v8_medium_train_250 gun, knife Detection preview by Segmentation_V11_large_300_train_300 gun, knife Detection preview by Segmentation_v8_large_300_train_300
Original Image: P00119.jpg
GT: gun, knife
gun, knife Detection preview by Box_v11_medium_train_SIXray_OPIXray gun Detection preview by DN_Medium_300_yolov8m_20t7_new gun, knife Detection preview by Segmentatation_v8_medium_train_250 gun, knife Detection preview by Segmentation_V11_large_300_train_300 gun, knife Detection preview by Segmentation_v8_large_300_train_300
Original Image: P00120.jpg
GT: gun, knife
gun, knife Detection preview by Box_v11_medium_train_SIXray_OPIXray gun Detection preview by DN_Medium_300_yolov8m_20t7_new gun, knife Detection preview by Segmentatation_v8_medium_train_250 gun, knife Detection preview by Segmentation_V11_large_300_train_300 gun, knife Detection preview by Segmentation_v8_large_300_train_300
Original Image: P00121.jpg
GT: gun, knife
gun, knife Detection preview by Box_v11_medium_train_SIXray_OPIXray No objects detected Detection preview by DN_Medium_300_yolov8m_20t7_new gun, knife Detection preview by Segmentatation_v8_medium_train_250 gun, knife Detection preview by Segmentation_V11_large_300_train_300 gun, knife Detection preview by Segmentation_v8_large_300_train_300
Original Image: P00122.jpg
GT: gun, knife
gun, knife Detection preview by Box_v11_medium_train_SIXray_OPIXray gun Detection preview by DN_Medium_300_yolov8m_20t7_new gun, knife Detection preview by Segmentatation_v8_medium_train_250 gun, knife Detection preview by Segmentation_V11_large_300_train_300 gun, knife Detection preview by Segmentation_v8_large_300_train_300
Original Image: P00123.jpg
GT: gun, knife
gun, knife Detection preview by Box_v11_medium_train_SIXray_OPIXray No objects detected Detection preview by DN_Medium_300_yolov8m_20t7_new gun, knife Detection preview by Segmentatation_v8_medium_train_250 gun, knife Detection preview by Segmentation_V11_large_300_train_300 gun, knife Detection preview by Segmentation_v8_large_300_train_300
Original Image: P00124.jpg
GT: gun, knife
gun, knife Detection preview by Box_v11_medium_train_SIXray_OPIXray gun Detection preview by DN_Medium_300_yolov8m_20t7_new gun, knife Detection preview by Segmentatation_v8_medium_train_250 gun, knife Detection preview by Segmentation_V11_large_300_train_300 gun, knife Detection preview by Segmentation_v8_large_300_train_300
Original Image: P00125.jpg
GT: gun, knife
gun, knife Detection preview by Box_v11_medium_train_SIXray_OPIXray gun Detection preview by DN_Medium_300_yolov8m_20t7_new gun, knife Detection preview by Segmentatation_v8_medium_train_250 gun, knife Detection preview by Segmentation_V11_large_300_train_300 gun, knife Detection preview by Segmentation_v8_large_300_train_300
Original Image: P00126.jpg
GT: gun, knife
gun, knife Detection preview by Box_v11_medium_train_SIXray_OPIXray gun Detection preview by DN_Medium_300_yolov8m_20t7_new gun, knife Detection preview by Segmentatation_v8_medium_train_250 gun, knife Detection preview by Segmentation_V11_large_300_train_300 gun, knife Detection preview by Segmentation_v8_large_300_train_300
Original Image: P00127.jpg
GT: gun, knife
gun, knife Detection preview by Box_v11_medium_train_SIXray_OPIXray gun Detection preview by DN_Medium_300_yolov8m_20t7_new gun, knife Detection preview by Segmentatation_v8_medium_train_250 gun, knife Detection preview by Segmentation_V11_large_300_train_300 gun, knife Detection preview by Segmentation_v8_large_300_train_300
Original Image: P00128.jpg
GT: gun, knife
gun, knife Detection preview by Box_v11_medium_train_SIXray_OPIXray gun Detection preview by DN_Medium_300_yolov8m_20t7_new gun, knife Detection preview by Segmentatation_v8_medium_train_250 gun, knife Detection preview by Segmentation_V11_large_300_train_300 gun, knife Detection preview by Segmentation_v8_large_300_train_300
Original Image: P00129.jpg
GT: gun, knife
gun, knife Detection preview by Box_v11_medium_train_SIXray_OPIXray gun Detection preview by DN_Medium_300_yolov8m_20t7_new gun, knife Detection preview by Segmentatation_v8_medium_train_250 gun, knife Detection preview by Segmentation_V11_large_300_train_300 gun, knife Detection preview by Segmentation_v8_large_300_train_300
Original Image: P00130.jpg
GT: gun, knife
gun, knife Detection preview by Box_v11_medium_train_SIXray_OPIXray gun Detection preview by DN_Medium_300_yolov8m_20t7_new gun, knife Detection preview by Segmentatation_v8_medium_train_250 gun, knife Detection preview by Segmentation_V11_large_300_train_300 gun, knife Detection preview by Segmentation_v8_large_300_train_300
Original Image: P00131.jpg
GT: gun, knife
gun, knife Detection preview by Box_v11_medium_train_SIXray_OPIXray gun Detection preview by DN_Medium_300_yolov8m_20t7_new gun, knife Detection preview by Segmentatation_v8_medium_train_250 gun, knife Detection preview by Segmentation_V11_large_300_train_300 gun, knife Detection preview by Segmentation_v8_large_300_train_300
Original Image: P00132.jpg
GT: gun, knife
gun, knife Detection preview by Box_v11_medium_train_SIXray_OPIXray gun Detection preview by DN_Medium_300_yolov8m_20t7_new gun, knife Detection preview by Segmentatation_v8_medium_train_250 gun, knife Detection preview by Segmentation_V11_large_300_train_300 gun, knife Detection preview by Segmentation_v8_large_300_train_300
Original Image: P00133.jpg
GT: gun, knife
gun, knife Detection preview by Box_v11_medium_train_SIXray_OPIXray gun Detection preview by DN_Medium_300_yolov8m_20t7_new gun, knife Detection preview by Segmentatation_v8_medium_train_250 gun, knife Detection preview by Segmentation_V11_large_300_train_300 gun, knife Detection preview by Segmentation_v8_large_300_train_300
Original Image: P00134.jpg
GT: gun, knife
gun, knife Detection preview by Box_v11_medium_train_SIXray_OPIXray No objects detected Detection preview by DN_Medium_300_yolov8m_20t7_new gun, knife Detection preview by Segmentatation_v8_medium_train_250 gun, knife Detection preview by Segmentation_V11_large_300_train_300 gun, knife Detection preview by Segmentation_v8_large_300_train_300
Original Image: P00135.jpg
GT: gun, knife
gun, knife Detection preview by Box_v11_medium_train_SIXray_OPIXray gun Detection preview by DN_Medium_300_yolov8m_20t7_new gun, knife Detection preview by Segmentatation_v8_medium_train_250 gun, knife Detection preview by Segmentation_V11_large_300_train_300 gun, knife Detection preview by Segmentation_v8_large_300_train_300
Original Image: P00136.jpg
GT: gun, knife
gun, knife Detection preview by Box_v11_medium_train_SIXray_OPIXray gun Detection preview by DN_Medium_300_yolov8m_20t7_new gun, knife Detection preview by Segmentatation_v8_medium_train_250 gun, knife Detection preview by Segmentation_V11_large_300_train_300 gun, knife Detection preview by Segmentation_v8_large_300_train_300
Original Image: P00137.jpg
GT: gun, knife
gun, knife Detection preview by Box_v11_medium_train_SIXray_OPIXray gun Detection preview by DN_Medium_300_yolov8m_20t7_new gun, knife Detection preview by Segmentatation_v8_medium_train_250 gun, knife Detection preview by Segmentation_V11_large_300_train_300 gun, knife Detection preview by Segmentation_v8_large_300_train_300
Original Image: P00138.jpg
GT: gun, knife
gun, knife Detection preview by Box_v11_medium_train_SIXray_OPIXray gun Detection preview by DN_Medium_300_yolov8m_20t7_new gun, knife Detection preview by Segmentatation_v8_medium_train_250 gun, knife Detection preview by Segmentation_V11_large_300_train_300 gun, knife Detection preview by Segmentation_v8_large_300_train_300
Original Image: P00139.jpg
GT: gun, knife
gun, knife Detection preview by Box_v11_medium_train_SIXray_OPIXray gun Detection preview by DN_Medium_300_yolov8m_20t7_new gun, knife Detection preview by Segmentatation_v8_medium_train_250 gun, knife Detection preview by Segmentation_V11_large_300_train_300 gun, knife Detection preview by Segmentation_v8_large_300_train_300
Original Image: P00140.jpg
GT: gun, knife
gun, knife Detection preview by Box_v11_medium_train_SIXray_OPIXray gun Detection preview by DN_Medium_300_yolov8m_20t7_new gun, knife Detection preview by Segmentatation_v8_medium_train_250 gun, knife Detection preview by Segmentation_V11_large_300_train_300 gun, knife Detection preview by Segmentation_v8_large_300_train_300
Original Image: P00141.jpg
GT: gun, knife
gun, knife Detection preview by Box_v11_medium_train_SIXray_OPIXray gun Detection preview by DN_Medium_300_yolov8m_20t7_new gun, knife Detection preview by Segmentatation_v8_medium_train_250 gun, knife Detection preview by Segmentation_V11_large_300_train_300 gun, knife Detection preview by Segmentation_v8_large_300_train_300
Original Image: P00142.jpg
GT: gun, knife
gun, knife Detection preview by Box_v11_medium_train_SIXray_OPIXray No objects detected Detection preview by DN_Medium_300_yolov8m_20t7_new gun, knife Detection preview by Segmentatation_v8_medium_train_250 gun, knife Detection preview by Segmentation_V11_large_300_train_300 gun, knife Detection preview by Segmentation_v8_large_300_train_300
Original Image: P00143.jpg
GT: gun, knife
gun, knife Detection preview by Box_v11_medium_train_SIXray_OPIXray gun Detection preview by DN_Medium_300_yolov8m_20t7_new gun, knife Detection preview by Segmentatation_v8_medium_train_250 gun, knife Detection preview by Segmentation_V11_large_300_train_300 gun, knife Detection preview by Segmentation_v8_large_300_train_300
Original Image: P00144.jpg
GT: gun, knife
gun, knife Detection preview by Box_v11_medium_train_SIXray_OPIXray No objects detected Detection preview by DN_Medium_300_yolov8m_20t7_new gun, knife Detection preview by Segmentatation_v8_medium_train_250 gun, knife Detection preview by Segmentation_V11_large_300_train_300 gun, knife Detection preview by Segmentation_v8_large_300_train_300
Original Image: P00145.jpg
GT: gun, knife
gun, knife Detection preview by Box_v11_medium_train_SIXray_OPIXray No objects detected Detection preview by DN_Medium_300_yolov8m_20t7_new gun, knife Detection preview by Segmentatation_v8_medium_train_250 gun, knife Detection preview by Segmentation_V11_large_300_train_300 gun, knife Detection preview by Segmentation_v8_large_300_train_300
Original Image: P00146.jpg
GT: gun, knife
gun, knife Detection preview by Box_v11_medium_train_SIXray_OPIXray No objects detected Detection preview by DN_Medium_300_yolov8m_20t7_new gun, knife Detection preview by Segmentatation_v8_medium_train_250 gun, knife Detection preview by Segmentation_V11_large_300_train_300 gun, knife Detection preview by Segmentation_v8_large_300_train_300
Original Image: P00147.jpg
GT: gun, knife
gun, knife Detection preview by Box_v11_medium_train_SIXray_OPIXray gun Detection preview by DN_Medium_300_yolov8m_20t7_new gun, knife Detection preview by Segmentatation_v8_medium_train_250 gun, knife Detection preview by Segmentation_V11_large_300_train_300 gun, knife Detection preview by Segmentation_v8_large_300_train_300
Original Image: P00148.jpg
GT: gun, knife
gun, knife Detection preview by Box_v11_medium_train_SIXray_OPIXray gun Detection preview by DN_Medium_300_yolov8m_20t7_new gun, knife Detection preview by Segmentatation_v8_medium_train_250 gun, knife Detection preview by Segmentation_V11_large_300_train_300 gun, knife Detection preview by Segmentation_v8_large_300_train_300
Original Image: P00149.jpg
GT: gun, knife
gun, knife Detection preview by Box_v11_medium_train_SIXray_OPIXray No objects detected Detection preview by DN_Medium_300_yolov8m_20t7_new gun, knife Detection preview by Segmentatation_v8_medium_train_250 gun, knife Detection preview by Segmentation_V11_large_300_train_300 gun, knife Detection preview by Segmentation_v8_large_300_train_300
Original Image: P00150.jpg
GT: gun, knife
gun, knife Detection preview by Box_v11_medium_train_SIXray_OPIXray No objects detected Detection preview by DN_Medium_300_yolov8m_20t7_new gun, knife Detection preview by Segmentatation_v8_medium_train_250 gun, knife Detection preview by Segmentation_V11_large_300_train_300 gun, knife Detection preview by Segmentation_v8_large_300_train_300
Original Image: P00151.jpg
GT: gun, knife
gun, knife Detection preview by Box_v11_medium_train_SIXray_OPIXray gun Detection preview by DN_Medium_300_yolov8m_20t7_new gun, knife Detection preview by Segmentatation_v8_medium_train_250 gun, knife Detection preview by Segmentation_V11_large_300_train_300 gun, knife Detection preview by Segmentation_v8_large_300_train_300
Original Image: P00152.jpg
GT: gun, knife
gun, knife Detection preview by Box_v11_medium_train_SIXray_OPIXray gun Detection preview by DN_Medium_300_yolov8m_20t7_new gun, knife Detection preview by Segmentatation_v8_medium_train_250 gun, knife Detection preview by Segmentation_V11_large_300_train_300 gun, knife Detection preview by Segmentation_v8_large_300_train_300
Original Image: P00153.jpg
GT: gun, knife
gun, knife Detection preview by Box_v11_medium_train_SIXray_OPIXray gun Detection preview by DN_Medium_300_yolov8m_20t7_new gun, knife Detection preview by Segmentatation_v8_medium_train_250 gun, knife Detection preview by Segmentation_V11_large_300_train_300 gun, knife Detection preview by Segmentation_v8_large_300_train_300
Original Image: P00154.jpg
GT: gun, knife
gun, knife Detection preview by Box_v11_medium_train_SIXray_OPIXray gun Detection preview by DN_Medium_300_yolov8m_20t7_new gun, knife Detection preview by Segmentatation_v8_medium_train_250 gun, knife Detection preview by Segmentation_V11_large_300_train_300 gun, knife Detection preview by Segmentation_v8_large_300_train_300
Original Image: P00155.jpg
GT: gun, knife
gun, knife Detection preview by Box_v11_medium_train_SIXray_OPIXray gun Detection preview by DN_Medium_300_yolov8m_20t7_new gun, knife Detection preview by Segmentatation_v8_medium_train_250 gun, knife Detection preview by Segmentation_V11_large_300_train_300 gun, knife Detection preview by Segmentation_v8_large_300_train_300
Original Image: P00156.jpg
GT: gun, knife
gun, knife Detection preview by Box_v11_medium_train_SIXray_OPIXray gun Detection preview by DN_Medium_300_yolov8m_20t7_new gun, knife Detection preview by Segmentatation_v8_medium_train_250 gun, knife Detection preview by Segmentation_V11_large_300_train_300 gun, knife Detection preview by Segmentation_v8_large_300_train_300
Original Image: P00157.jpg
GT: gun, knife
gun, knife Detection preview by Box_v11_medium_train_SIXray_OPIXray gun Detection preview by DN_Medium_300_yolov8m_20t7_new gun, knife Detection preview by Segmentatation_v8_medium_train_250 gun, knife Detection preview by Segmentation_V11_large_300_train_300 gun, knife Detection preview by Segmentation_v8_large_300_train_300
Original Image: P00158.jpg
GT: gun, knife
gun, knife Detection preview by Box_v11_medium_train_SIXray_OPIXray gun Detection preview by DN_Medium_300_yolov8m_20t7_new gun, knife Detection preview by Segmentatation_v8_medium_train_250 gun, knife Detection preview by Segmentation_V11_large_300_train_300 gun, knife Detection preview by Segmentation_v8_large_300_train_300
Original Image: P00159.jpg
GT: gun, knife
gun, knife Detection preview by Box_v11_medium_train_SIXray_OPIXray No objects detected Detection preview by DN_Medium_300_yolov8m_20t7_new gun, knife Detection preview by Segmentatation_v8_medium_train_250 gun, knife Detection preview by Segmentation_V11_large_300_train_300 gun, knife Detection preview by Segmentation_v8_large_300_train_300
Original Image: P00160.jpg
GT: gun, knife
gun, knife Detection preview by Box_v11_medium_train_SIXray_OPIXray gun Detection preview by DN_Medium_300_yolov8m_20t7_new gun, knife Detection preview by Segmentatation_v8_medium_train_250 gun, knife Detection preview by Segmentation_V11_large_300_train_300 gun, knife Detection preview by Segmentation_v8_large_300_train_300
Original Image: P00161.jpg
GT: gun, knife
gun, knife Detection preview by Box_v11_medium_train_SIXray_OPIXray No objects detected Detection preview by DN_Medium_300_yolov8m_20t7_new gun, knife Detection preview by Segmentatation_v8_medium_train_250 gun, knife Detection preview by Segmentation_V11_large_300_train_300 gun, knife Detection preview by Segmentation_v8_large_300_train_300
Original Image: P00162.jpg
GT: gun, knife
gun, knife Detection preview by Box_v11_medium_train_SIXray_OPIXray No objects detected Detection preview by DN_Medium_300_yolov8m_20t7_new gun, knife Detection preview by Segmentatation_v8_medium_train_250 gun, knife Detection preview by Segmentation_V11_large_300_train_300 gun, knife Detection preview by Segmentation_v8_large_300_train_300
Original Image: P00163.jpg
GT: gun, knife
gun, knife Detection preview by Box_v11_medium_train_SIXray_OPIXray gun Detection preview by DN_Medium_300_yolov8m_20t7_new gun, knife Detection preview by Segmentatation_v8_medium_train_250 gun, knife Detection preview by Segmentation_V11_large_300_train_300 gun, knife Detection preview by Segmentation_v8_large_300_train_300
Original Image: P00164.jpg
GT: knife
knife Detection preview by Box_v11_medium_train_SIXray_OPIXray No objects detected Detection preview by DN_Medium_300_yolov8m_20t7_new knife Detection preview by Segmentatation_v8_medium_train_250 knife Detection preview by Segmentation_V11_large_300_train_300 knife Detection preview by Segmentation_v8_large_300_train_300
Original Image: P00165.jpg
GT: gun, knife
gun, knife Detection preview by Box_v11_medium_train_SIXray_OPIXray gun Detection preview by DN_Medium_300_yolov8m_20t7_new gun, knife Detection preview by Segmentatation_v8_medium_train_250 gun, knife Detection preview by Segmentation_V11_large_300_train_300 gun, knife Detection preview by Segmentation_v8_large_300_train_300
Original Image: P00166.jpg
GT: gun, knife
gun, knife Detection preview by Box_v11_medium_train_SIXray_OPIXray gun Detection preview by DN_Medium_300_yolov8m_20t7_new gun, knife Detection preview by Segmentatation_v8_medium_train_250 gun, knife Detection preview by Segmentation_V11_large_300_train_300 gun, knife Detection preview by Segmentation_v8_large_300_train_300
Original Image: P00167.jpg
GT: gun, knife
gun, knife Detection preview by Box_v11_medium_train_SIXray_OPIXray gun Detection preview by DN_Medium_300_yolov8m_20t7_new gun, knife Detection preview by Segmentatation_v8_medium_train_250 gun, knife Detection preview by Segmentation_V11_large_300_train_300 gun, knife Detection preview by Segmentation_v8_large_300_train_300
Original Image: P00168.jpg
GT: gun, knife
gun, knife Detection preview by Box_v11_medium_train_SIXray_OPIXray gun Detection preview by DN_Medium_300_yolov8m_20t7_new gun, knife Detection preview by Segmentatation_v8_medium_train_250 gun, knife Detection preview by Segmentation_V11_large_300_train_300 gun, knife Detection preview by Segmentation_v8_large_300_train_300
Original Image: P00169.jpg
GT: gun, knife
gun, knife Detection preview by Box_v11_medium_train_SIXray_OPIXray gun Detection preview by DN_Medium_300_yolov8m_20t7_new gun, knife Detection preview by Segmentatation_v8_medium_train_250 gun, knife Detection preview by Segmentation_V11_large_300_train_300 gun, knife Detection preview by Segmentation_v8_large_300_train_300
Original Image: P00170.jpg
GT: gun, knife
gun, knife Detection preview by Box_v11_medium_train_SIXray_OPIXray gun Detection preview by DN_Medium_300_yolov8m_20t7_new gun, knife Detection preview by Segmentatation_v8_medium_train_250 gun, knife Detection preview by Segmentation_V11_large_300_train_300 gun, knife Detection preview by Segmentation_v8_large_300_train_300
Original Image: P00171.jpg
GT: gun, knife
gun, knife Detection preview by Box_v11_medium_train_SIXray_OPIXray gun Detection preview by DN_Medium_300_yolov8m_20t7_new gun, knife Detection preview by Segmentatation_v8_medium_train_250 gun, knife Detection preview by Segmentation_V11_large_300_train_300 gun, knife Detection preview by Segmentation_v8_large_300_train_300
Original Image: P00172.jpg
GT: gun, knife
gun, knife Detection preview by Box_v11_medium_train_SIXray_OPIXray gun Detection preview by DN_Medium_300_yolov8m_20t7_new gun, knife Detection preview by Segmentatation_v8_medium_train_250 gun, knife Detection preview by Segmentation_V11_large_300_train_300 gun, knife Detection preview by Segmentation_v8_large_300_train_300
Original Image: P00173.jpg
GT: gun, knife
gun, knife Detection preview by Box_v11_medium_train_SIXray_OPIXray gun Detection preview by DN_Medium_300_yolov8m_20t7_new gun, knife Detection preview by Segmentatation_v8_medium_train_250 gun, knife Detection preview by Segmentation_V11_large_300_train_300 gun, knife Detection preview by Segmentation_v8_large_300_train_300
Original Image: P00174.jpg
GT: gun, knife
gun, knife Detection preview by Box_v11_medium_train_SIXray_OPIXray gun Detection preview by DN_Medium_300_yolov8m_20t7_new gun, knife Detection preview by Segmentatation_v8_medium_train_250 gun, knife Detection preview by Segmentation_V11_large_300_train_300 gun, knife Detection preview by Segmentation_v8_large_300_train_300
Original Image: P00175.jpg
GT: gun, knife
gun, knife Detection preview by Box_v11_medium_train_SIXray_OPIXray No objects detected Detection preview by DN_Medium_300_yolov8m_20t7_new gun, knife Detection preview by Segmentatation_v8_medium_train_250 gun, knife Detection preview by Segmentation_V11_large_300_train_300 gun, knife Detection preview by Segmentation_v8_large_300_train_300
Original Image: P00176.jpg
GT: gun, knife
gun, knife Detection preview by Box_v11_medium_train_SIXray_OPIXray No objects detected Detection preview by DN_Medium_300_yolov8m_20t7_new gun, knife Detection preview by Segmentatation_v8_medium_train_250 gun, knife Detection preview by Segmentation_V11_large_300_train_300 gun, knife Detection preview by Segmentation_v8_large_300_train_300
Original Image: P00177.jpg
GT: gun, knife
gun, knife Detection preview by Box_v11_medium_train_SIXray_OPIXray No objects detected Detection preview by DN_Medium_300_yolov8m_20t7_new gun, knife Detection preview by Segmentatation_v8_medium_train_250 gun, knife Detection preview by Segmentation_V11_large_300_train_300 gun, knife Detection preview by Segmentation_v8_large_300_train_300
Original Image: P00178.jpg
GT: gun, knife
gun, knife Detection preview by Box_v11_medium_train_SIXray_OPIXray No objects detected Detection preview by DN_Medium_300_yolov8m_20t7_new gun, knife Detection preview by Segmentatation_v8_medium_train_250 gun, knife Detection preview by Segmentation_V11_large_300_train_300 gun, knife Detection preview by Segmentation_v8_large_300_train_300
Original Image: P00179.jpg
GT: gun, knife
gun, knife Detection preview by Box_v11_medium_train_SIXray_OPIXray No objects detected Detection preview by DN_Medium_300_yolov8m_20t7_new gun, knife Detection preview by Segmentatation_v8_medium_train_250 gun, knife Detection preview by Segmentation_V11_large_300_train_300 gun, knife Detection preview by Segmentation_v8_large_300_train_300
Original Image: P00180.jpg
GT: gun, knife
gun, knife Detection preview by Box_v11_medium_train_SIXray_OPIXray No objects detected Detection preview by DN_Medium_300_yolov8m_20t7_new gun, knife Detection preview by Segmentatation_v8_medium_train_250 gun, knife Detection preview by Segmentation_V11_large_300_train_300 gun, knife Detection preview by Segmentation_v8_large_300_train_300
Original Image: P00181.jpg
GT: gun, knife
gun, knife Detection preview by Box_v11_medium_train_SIXray_OPIXray gun Detection preview by DN_Medium_300_yolov8m_20t7_new gun, knife Detection preview by Segmentatation_v8_medium_train_250 gun, knife Detection preview by Segmentation_V11_large_300_train_300 gun, knife Detection preview by Segmentation_v8_large_300_train_300
Original Image: P00182.jpg
GT: gun, knife
gun, knife Detection preview by Box_v11_medium_train_SIXray_OPIXray No objects detected Detection preview by DN_Medium_300_yolov8m_20t7_new gun, knife Detection preview by Segmentatation_v8_medium_train_250 gun, knife Detection preview by Segmentation_V11_large_300_train_300 gun, knife Detection preview by Segmentation_v8_large_300_train_300
Original Image: P00183.jpg
GT: gun, knife
gun, knife Detection preview by Box_v11_medium_train_SIXray_OPIXray gun Detection preview by DN_Medium_300_yolov8m_20t7_new gun, knife Detection preview by Segmentatation_v8_medium_train_250 gun, knife Detection preview by Segmentation_V11_large_300_train_300 gun, knife Detection preview by Segmentation_v8_large_300_train_300
Original Image: P00184.jpg
GT: gun, knife
gun, knife Detection preview by Box_v11_medium_train_SIXray_OPIXray gun Detection preview by DN_Medium_300_yolov8m_20t7_new gun, knife Detection preview by Segmentatation_v8_medium_train_250 gun, knife Detection preview by Segmentation_V11_large_300_train_300 gun, knife Detection preview by Segmentation_v8_large_300_train_300
Original Image: P00185.jpg
GT: gun, knife
gun, knife Detection preview by Box_v11_medium_train_SIXray_OPIXray No objects detected Detection preview by DN_Medium_300_yolov8m_20t7_new gun, knife Detection preview by Segmentatation_v8_medium_train_250 gun, knife Detection preview by Segmentation_V11_large_300_train_300 gun, knife Detection preview by Segmentation_v8_large_300_train_300
Original Image: P00186.jpg
GT: gun, knife
gun, knife Detection preview by Box_v11_medium_train_SIXray_OPIXray No objects detected Detection preview by DN_Medium_300_yolov8m_20t7_new gun, knife Detection preview by Segmentatation_v8_medium_train_250 gun, knife Detection preview by Segmentation_V11_large_300_train_300 gun, knife Detection preview by Segmentation_v8_large_300_train_300
Original Image: P00187.jpg
GT: gun, knife
gun, knife Detection preview by Box_v11_medium_train_SIXray_OPIXray gun Detection preview by DN_Medium_300_yolov8m_20t7_new gun, knife Detection preview by Segmentatation_v8_medium_train_250 gun, knife Detection preview by Segmentation_V11_large_300_train_300 gun, knife Detection preview by Segmentation_v8_large_300_train_300
Original Image: P00188.jpg
GT: gun, knife
gun, knife Detection preview by Box_v11_medium_train_SIXray_OPIXray No objects detected Detection preview by DN_Medium_300_yolov8m_20t7_new gun, knife Detection preview by Segmentatation_v8_medium_train_250 gun, knife Detection preview by Segmentation_V11_large_300_train_300 gun, knife Detection preview by Segmentation_v8_large_300_train_300
Original Image: P00189.jpg
GT: gun, knife
gun, knife Detection preview by Box_v11_medium_train_SIXray_OPIXray No objects detected Detection preview by DN_Medium_300_yolov8m_20t7_new gun, knife Detection preview by Segmentatation_v8_medium_train_250 gun, knife Detection preview by Segmentation_V11_large_300_train_300 gun, knife Detection preview by Segmentation_v8_large_300_train_300
Original Image: P00190.jpg
GT: gun, knife
gun, knife Detection preview by Box_v11_medium_train_SIXray_OPIXray No objects detected Detection preview by DN_Medium_300_yolov8m_20t7_new gun, knife Detection preview by Segmentatation_v8_medium_train_250 gun, knife Detection preview by Segmentation_V11_large_300_train_300 gun, knife Detection preview by Segmentation_v8_large_300_train_300
Original Image: P00191.jpg
GT: gun, knife
gun, knife Detection preview by Box_v11_medium_train_SIXray_OPIXray No objects detected Detection preview by DN_Medium_300_yolov8m_20t7_new gun, knife Detection preview by Segmentatation_v8_medium_train_250 gun, knife Detection preview by Segmentation_V11_large_300_train_300 gun, knife Detection preview by Segmentation_v8_large_300_train_300
Original Image: P00192.jpg
GT: gun, knife
gun, knife Detection preview by Box_v11_medium_train_SIXray_OPIXray gun Detection preview by DN_Medium_300_yolov8m_20t7_new gun, knife Detection preview by Segmentatation_v8_medium_train_250 gun, knife Detection preview by Segmentation_V11_large_300_train_300 gun, knife Detection preview by Segmentation_v8_large_300_train_300
Original Image: P00193.jpg
GT: gun, knife
gun, knife Detection preview by Box_v11_medium_train_SIXray_OPIXray No objects detected Detection preview by DN_Medium_300_yolov8m_20t7_new gun, knife Detection preview by Segmentatation_v8_medium_train_250 gun, knife Detection preview by Segmentation_V11_large_300_train_300 gun, knife Detection preview by Segmentation_v8_large_300_train_300
Original Image: P00194.jpg
GT: gun, knife
gun, knife Detection preview by Box_v11_medium_train_SIXray_OPIXray No objects detected Detection preview by DN_Medium_300_yolov8m_20t7_new gun, knife Detection preview by Segmentatation_v8_medium_train_250 gun, knife Detection preview by Segmentation_V11_large_300_train_300 gun, knife Detection preview by Segmentation_v8_large_300_train_300
Original Image: P00195.jpg
GT: gun, knife
gun, knife Detection preview by Box_v11_medium_train_SIXray_OPIXray No objects detected Detection preview by DN_Medium_300_yolov8m_20t7_new gun, knife Detection preview by Segmentatation_v8_medium_train_250 gun, knife Detection preview by Segmentation_V11_large_300_train_300 gun, knife Detection preview by Segmentation_v8_large_300_train_300
Original Image: P00196.jpg
GT: gun, knife
gun, knife Detection preview by Box_v11_medium_train_SIXray_OPIXray gun Detection preview by DN_Medium_300_yolov8m_20t7_new gun, knife Detection preview by Segmentatation_v8_medium_train_250 gun, knife Detection preview by Segmentation_V11_large_300_train_300 gun, knife Detection preview by Segmentation_v8_large_300_train_300
Original Image: P00197.jpg
GT: gun, knife
gun, knife Detection preview by Box_v11_medium_train_SIXray_OPIXray gun Detection preview by DN_Medium_300_yolov8m_20t7_new gun, knife Detection preview by Segmentatation_v8_medium_train_250 gun, knife Detection preview by Segmentation_V11_large_300_train_300 gun, knife Detection preview by Segmentation_v8_large_300_train_300
Original Image: P00198.jpg
GT: gun, knife
gun, knife Detection preview by Box_v11_medium_train_SIXray_OPIXray No objects detected Detection preview by DN_Medium_300_yolov8m_20t7_new gun, knife Detection preview by Segmentatation_v8_medium_train_250 gun, knife Detection preview by Segmentation_V11_large_300_train_300 gun, knife Detection preview by Segmentation_v8_large_300_train_300
Original Image: P00199.jpg
GT: gun, knife
gun, knife Detection preview by Box_v11_medium_train_SIXray_OPIXray No objects detected Detection preview by DN_Medium_300_yolov8m_20t7_new gun, knife Detection preview by Segmentatation_v8_medium_train_250 gun, knife Detection preview by Segmentation_V11_large_300_train_300 gun, knife Detection preview by Segmentation_v8_large_300_train_300
Original Image: P00200.jpg
GT: gun, knife
gun, knife Detection preview by Box_v11_medium_train_SIXray_OPIXray No objects detected Detection preview by DN_Medium_300_yolov8m_20t7_new gun, knife Detection preview by Segmentatation_v8_medium_train_250 gun, knife Detection preview by Segmentation_V11_large_300_train_300 gun, knife Detection preview by Segmentation_v8_large_300_train_300
Original Image: P00201.jpg
GT: gun, knife
gun, knife Detection preview by Box_v11_medium_train_SIXray_OPIXray gun Detection preview by DN_Medium_300_yolov8m_20t7_new gun, knife Detection preview by Segmentatation_v8_medium_train_250 gun, knife Detection preview by Segmentation_V11_large_300_train_300 gun, knife Detection preview by Segmentation_v8_large_300_train_300
Original Image: P00202.jpg
GT: gun, knife
gun, knife Detection preview by Box_v11_medium_train_SIXray_OPIXray gun Detection preview by DN_Medium_300_yolov8m_20t7_new gun, knife Detection preview by Segmentatation_v8_medium_train_250 gun, knife Detection preview by Segmentation_V11_large_300_train_300 gun, knife Detection preview by Segmentation_v8_large_300_train_300
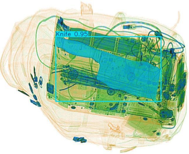
Original Image: P00203.jpg
GT: knife
knife Detection preview by Box_v11_medium_train_SIXray_OPIXray No objects detected Detection preview by DN_Medium_300_yolov8m_20t7_new knife Detection preview by Segmentatation_v8_medium_train_250 knife Detection preview by Segmentation_V11_large_300_train_300 knife Detection preview by Segmentation_v8_large_300_train_300
Original Image: P00204.jpg
GT: gun, knife
gun, knife Detection preview by Box_v11_medium_train_SIXray_OPIXray gun Detection preview by DN_Medium_300_yolov8m_20t7_new gun, knife Detection preview by Segmentatation_v8_medium_train_250 gun, knife Detection preview by Segmentation_V11_large_300_train_300 gun, knife Detection preview by Segmentation_v8_large_300_train_300
Original Image: P00205.jpg
GT: knife
knife Detection preview by Box_v11_medium_train_SIXray_OPIXray No objects detected Detection preview by DN_Medium_300_yolov8m_20t7_new knife Detection preview by Segmentatation_v8_medium_train_250 knife Detection preview by Segmentation_V11_large_300_train_300 knife Detection preview by Segmentation_v8_large_300_train_300
Original Image: P00206.jpg
GT: gun, knife
gun, knife Detection preview by Box_v11_medium_train_SIXray_OPIXray No objects detected Detection preview by DN_Medium_300_yolov8m_20t7_new gun, knife Detection preview by Segmentatation_v8_medium_train_250 gun, knife Detection preview by Segmentation_V11_large_300_train_300 gun, knife Detection preview by Segmentation_v8_large_300_train_300
Original Image: P00207.jpg
GT: gun, knife
gun, knife Detection preview by Box_v11_medium_train_SIXray_OPIXray No objects detected Detection preview by DN_Medium_300_yolov8m_20t7_new gun, knife Detection preview by Segmentatation_v8_medium_train_250 gun, knife Detection preview by Segmentation_V11_large_300_train_300 gun, knife Detection preview by Segmentation_v8_large_300_train_300
Original Image: P00208.jpg
GT: gun, knife
gun, knife Detection preview by Box_v11_medium_train_SIXray_OPIXray No objects detected Detection preview by DN_Medium_300_yolov8m_20t7_new gun, knife Detection preview by Segmentatation_v8_medium_train_250 gun, knife Detection preview by Segmentation_V11_large_300_train_300 gun, knife Detection preview by Segmentation_v8_large_300_train_300
Original Image: P00209.jpg
GT: knife
knife Detection preview by Box_v11_medium_train_SIXray_OPIXray No objects detected Detection preview by DN_Medium_300_yolov8m_20t7_new knife Detection preview by Segmentatation_v8_medium_train_250 knife Detection preview by Segmentation_V11_large_300_train_300 knife Detection preview by Segmentation_v8_large_300_train_300
Original Image: P00210.jpg
GT: knife
knife Detection preview by Box_v11_medium_train_SIXray_OPIXray No objects detected Detection preview by DN_Medium_300_yolov8m_20t7_new knife Detection preview by Segmentatation_v8_medium_train_250 knife Detection preview by Segmentation_V11_large_300_train_300 knife Detection preview by Segmentation_v8_large_300_train_300
Original Image: P00211.jpg
GT: gun, knife
gun, knife Detection preview by Box_v11_medium_train_SIXray_OPIXray No objects detected Detection preview by DN_Medium_300_yolov8m_20t7_new gun, knife Detection preview by Segmentatation_v8_medium_train_250 gun, knife Detection preview by Segmentation_V11_large_300_train_300 gun, knife Detection preview by Segmentation_v8_large_300_train_300
Original Image: P00212.jpg
GT: gun, knife
gun, knife Detection preview by Box_v11_medium_train_SIXray_OPIXray No objects detected Detection preview by DN_Medium_300_yolov8m_20t7_new gun, knife Detection preview by Segmentatation_v8_medium_train_250 gun, knife Detection preview by Segmentation_V11_large_300_train_300 gun, knife Detection preview by Segmentation_v8_large_300_train_300
Original Image: P00213.jpg
GT: knife
knife Detection preview by Box_v11_medium_train_SIXray_OPIXray No objects detected Detection preview by DN_Medium_300_yolov8m_20t7_new knife Detection preview by Segmentatation_v8_medium_train_250 knife Detection preview by Segmentation_V11_large_300_train_300 knife Detection preview by Segmentation_v8_large_300_train_300
Original Image: P00214.jpg
GT: knife
knife Detection preview by Box_v11_medium_train_SIXray_OPIXray No objects detected Detection preview by DN_Medium_300_yolov8m_20t7_new knife Detection preview by Segmentatation_v8_medium_train_250 knife Detection preview by Segmentation_V11_large_300_train_300 knife Detection preview by Segmentation_v8_large_300_train_300
Original Image: P00215.jpg
GT: gun, knife
gun, knife Detection preview by Box_v11_medium_train_SIXray_OPIXray gun Detection preview by DN_Medium_300_yolov8m_20t7_new gun, knife Detection preview by Segmentatation_v8_medium_train_250 gun, knife Detection preview by Segmentation_V11_large_300_train_300 gun, knife Detection preview by Segmentation_v8_large_300_train_300
Original Image: P00216.jpg
GT: knife
knife Detection preview by Box_v11_medium_train_SIXray_OPIXray No objects detected Detection preview by DN_Medium_300_yolov8m_20t7_new knife Detection preview by Segmentatation_v8_medium_train_250 knife Detection preview by Segmentation_V11_large_300_train_300 knife Detection preview by Segmentation_v8_large_300_train_300
Original Image: P00217.jpg
GT: gun, knife
gun, knife Detection preview by Box_v11_medium_train_SIXray_OPIXray No objects detected Detection preview by DN_Medium_300_yolov8m_20t7_new gun, knife Detection preview by Segmentatation_v8_medium_train_250 gun, knife Detection preview by Segmentation_V11_large_300_train_300 gun, knife Detection preview by Segmentation_v8_large_300_train_300
Original Image: P00218.jpg
GT: gun, knife
gun, knife Detection preview by Box_v11_medium_train_SIXray_OPIXray No objects detected Detection preview by DN_Medium_300_yolov8m_20t7_new gun, knife Detection preview by Segmentatation_v8_medium_train_250 gun, knife Detection preview by Segmentation_V11_large_300_train_300 gun, knife Detection preview by Segmentation_v8_large_300_train_300
Original Image: P00219.jpg
GT: gun, knife
gun, knife Detection preview by Box_v11_medium_train_SIXray_OPIXray No objects detected Detection preview by DN_Medium_300_yolov8m_20t7_new gun, knife Detection preview by Segmentatation_v8_medium_train_250 gun, knife Detection preview by Segmentation_V11_large_300_train_300 gun, knife Detection preview by Segmentation_v8_large_300_train_300
Original Image: P00220.jpg
GT: gun, knife
gun, knife Detection preview by Box_v11_medium_train_SIXray_OPIXray No objects detected Detection preview by DN_Medium_300_yolov8m_20t7_new gun, knife Detection preview by Segmentatation_v8_medium_train_250 gun, knife Detection preview by Segmentation_V11_large_300_train_300 gun, knife Detection preview by Segmentation_v8_large_300_train_300
Original Image: P00221.jpg
GT: gun, knife
gun, knife Detection preview by Box_v11_medium_train_SIXray_OPIXray gun Detection preview by DN_Medium_300_yolov8m_20t7_new gun, knife Detection preview by Segmentatation_v8_medium_train_250 gun, knife Detection preview by Segmentation_V11_large_300_train_300 gun, knife Detection preview by Segmentation_v8_large_300_train_300
Original Image: P00222.jpg
GT: knife
knife Detection preview by Box_v11_medium_train_SIXray_OPIXray No objects detected Detection preview by DN_Medium_300_yolov8m_20t7_new knife Detection preview by Segmentatation_v8_medium_train_250 knife Detection preview by Segmentation_V11_large_300_train_300 knife Detection preview by Segmentation_v8_large_300_train_300
Original Image: P00223.jpg
GT: knife
knife Detection preview by Box_v11_medium_train_SIXray_OPIXray No objects detected Detection preview by DN_Medium_300_yolov8m_20t7_new knife Detection preview by Segmentatation_v8_medium_train_250 knife Detection preview by Segmentation_V11_large_300_train_300 knife Detection preview by Segmentation_v8_large_300_train_300
Original Image: P00224.jpg
GT: gun, knife
gun, knife Detection preview by Box_v11_medium_train_SIXray_OPIXray No objects detected Detection preview by DN_Medium_300_yolov8m_20t7_new gun, knife Detection preview by Segmentatation_v8_medium_train_250 gun, knife Detection preview by Segmentation_V11_large_300_train_300 gun, knife Detection preview by Segmentation_v8_large_300_train_300
Original Image: P00225.jpg
GT: gun, knife
gun, knife Detection preview by Box_v11_medium_train_SIXray_OPIXray gun Detection preview by DN_Medium_300_yolov8m_20t7_new gun, knife Detection preview by Segmentatation_v8_medium_train_250 gun, knife Detection preview by Segmentation_V11_large_300_train_300 gun, knife Detection preview by Segmentation_v8_large_300_train_300
Original Image: P00226.jpg
GT: gun, knife
gun, knife Detection preview by Box_v11_medium_train_SIXray_OPIXray No objects detected Detection preview by DN_Medium_300_yolov8m_20t7_new gun, knife Detection preview by Segmentatation_v8_medium_train_250 gun, knife Detection preview by Segmentation_V11_large_300_train_300 gun, knife Detection preview by Segmentation_v8_large_300_train_300
Original Image: P00227.jpg
GT: knife
knife Detection preview by Box_v11_medium_train_SIXray_OPIXray No objects detected Detection preview by DN_Medium_300_yolov8m_20t7_new knife Detection preview by Segmentatation_v8_medium_train_250 knife Detection preview by Segmentation_V11_large_300_train_300 knife Detection preview by Segmentation_v8_large_300_train_300
Original Image: P00228.jpg
GT: gun, knife
gun, knife Detection preview by Box_v11_medium_train_SIXray_OPIXray No objects detected Detection preview by DN_Medium_300_yolov8m_20t7_new gun, knife Detection preview by Segmentatation_v8_medium_train_250 gun, knife Detection preview by Segmentation_V11_large_300_train_300 gun, knife Detection preview by Segmentation_v8_large_300_train_300
Original Image: P00229.jpg
GT: gun, knife
gun, knife Detection preview by Box_v11_medium_train_SIXray_OPIXray No objects detected Detection preview by DN_Medium_300_yolov8m_20t7_new gun, knife Detection preview by Segmentatation_v8_medium_train_250 gun, knife Detection preview by Segmentation_V11_large_300_train_300 gun, knife Detection preview by Segmentation_v8_large_300_train_300
Original Image: P00230.jpg
GT: gun, knife
gun, knife Detection preview by Box_v11_medium_train_SIXray_OPIXray gun Detection preview by DN_Medium_300_yolov8m_20t7_new gun, knife Detection preview by Segmentatation_v8_medium_train_250 gun, knife Detection preview by Segmentation_V11_large_300_train_300 gun, knife Detection preview by Segmentation_v8_large_300_train_300
Original Image: P00231.jpg
GT: knife
knife Detection preview by Box_v11_medium_train_SIXray_OPIXray knife Detection preview by DN_Medium_300_yolov8m_20t7_new knife Detection preview by Segmentatation_v8_medium_train_250 knife Detection preview by Segmentation_V11_large_300_train_300 knife Detection preview by Segmentation_v8_large_300_train_300
Original Image: P00232.jpg
GT: gun, knife
gun, knife Detection preview by Box_v11_medium_train_SIXray_OPIXray No objects detected Detection preview by DN_Medium_300_yolov8m_20t7_new gun, knife Detection preview by Segmentatation_v8_medium_train_250 gun, knife Detection preview by Segmentation_V11_large_300_train_300 gun, knife Detection preview by Segmentation_v8_large_300_train_300
Original Image: P00233.jpg
GT: gun, knife
gun, knife Detection preview by Box_v11_medium_train_SIXray_OPIXray gun Detection preview by DN_Medium_300_yolov8m_20t7_new gun, knife Detection preview by Segmentatation_v8_medium_train_250 gun, knife Detection preview by Segmentation_V11_large_300_train_300 gun, knife Detection preview by Segmentation_v8_large_300_train_300
Original Image: P00234.jpg
GT: knife
knife Detection preview by Box_v11_medium_train_SIXray_OPIXray No objects detected Detection preview by DN_Medium_300_yolov8m_20t7_new knife Detection preview by Segmentatation_v8_medium_train_250 knife Detection preview by Segmentation_V11_large_300_train_300 knife Detection preview by Segmentation_v8_large_300_train_300
Original Image: P00235.jpg
GT: gun, knife
gun, knife Detection preview by Box_v11_medium_train_SIXray_OPIXray gun Detection preview by DN_Medium_300_yolov8m_20t7_new gun, knife Detection preview by Segmentatation_v8_medium_train_250 gun, knife Detection preview by Segmentation_V11_large_300_train_300 gun, knife Detection preview by Segmentation_v8_large_300_train_300
Original Image: P00236.jpg
GT: gun, knife
gun, knife Detection preview by Box_v11_medium_train_SIXray_OPIXray No objects detected Detection preview by DN_Medium_300_yolov8m_20t7_new gun, knife Detection preview by Segmentatation_v8_medium_train_250 gun, knife Detection preview by Segmentation_V11_large_300_train_300 gun, knife Detection preview by Segmentation_v8_large_300_train_300
Original Image: P00237.jpg
GT: gun, knife
gun, knife Detection preview by Box_v11_medium_train_SIXray_OPIXray No objects detected Detection preview by DN_Medium_300_yolov8m_20t7_new gun, knife Detection preview by Segmentatation_v8_medium_train_250 gun, knife Detection preview by Segmentation_V11_large_300_train_300 gun, knife Detection preview by Segmentation_v8_large_300_train_300
Original Image: P00238.jpg
GT: knife
knife Detection preview by Box_v11_medium_train_SIXray_OPIXray No objects detected Detection preview by DN_Medium_300_yolov8m_20t7_new knife Detection preview by Segmentatation_v8_medium_train_250 knife Detection preview by Segmentation_V11_large_300_train_300 knife Detection preview by Segmentation_v8_large_300_train_300
Original Image: P00239.jpg
GT: knife
knife Detection preview by Box_v11_medium_train_SIXray_OPIXray No objects detected Detection preview by DN_Medium_300_yolov8m_20t7_new knife Detection preview by Segmentatation_v8_medium_train_250 knife Detection preview by Segmentation_V11_large_300_train_300 knife Detection preview by Segmentation_v8_large_300_train_300
Original Image: P00240.jpg
GT: knife
knife Detection preview by Box_v11_medium_train_SIXray_OPIXray No objects detected Detection preview by DN_Medium_300_yolov8m_20t7_new knife Detection preview by Segmentatation_v8_medium_train_250 knife Detection preview by Segmentation_V11_large_300_train_300 knife Detection preview by Segmentation_v8_large_300_train_300
Original Image: P00241.jpg
GT: knife
knife Detection preview by Box_v11_medium_train_SIXray_OPIXray No objects detected Detection preview by DN_Medium_300_yolov8m_20t7_new knife Detection preview by Segmentatation_v8_medium_train_250 knife Detection preview by Segmentation_V11_large_300_train_300 knife Detection preview by Segmentation_v8_large_300_train_300
Original Image: P00242.jpg
GT: knife
knife Detection preview by Box_v11_medium_train_SIXray_OPIXray No objects detected Detection preview by DN_Medium_300_yolov8m_20t7_new knife Detection preview by Segmentatation_v8_medium_train_250 knife Detection preview by Segmentation_V11_large_300_train_300 knife Detection preview by Segmentation_v8_large_300_train_300
Original Image: P00243.jpg
GT: knife
knife Detection preview by Box_v11_medium_train_SIXray_OPIXray No objects detected Detection preview by DN_Medium_300_yolov8m_20t7_new knife Detection preview by Segmentatation_v8_medium_train_250 knife Detection preview by Segmentation_V11_large_300_train_300 knife Detection preview by Segmentation_v8_large_300_train_300
Original Image: P00244.jpg
GT: gun, knife
gun, knife Detection preview by Box_v11_medium_train_SIXray_OPIXray No objects detected Detection preview by DN_Medium_300_yolov8m_20t7_new gun, knife Detection preview by Segmentatation_v8_medium_train_250 gun, knife Detection preview by Segmentation_V11_large_300_train_300 gun, knife Detection preview by Segmentation_v8_large_300_train_300
Original Image: P00245.jpg
GT: gun, knife
gun, knife Detection preview by Box_v11_medium_train_SIXray_OPIXray No objects detected Detection preview by DN_Medium_300_yolov8m_20t7_new gun, knife Detection preview by Segmentatation_v8_medium_train_250 gun, knife Detection preview by Segmentation_V11_large_300_train_300 gun, knife Detection preview by Segmentation_v8_large_300_train_300
Original Image: P00246.jpg
GT: knife
knife Detection preview by Box_v11_medium_train_SIXray_OPIXray No objects detected Detection preview by DN_Medium_300_yolov8m_20t7_new knife Detection preview by Segmentatation_v8_medium_train_250 knife Detection preview by Segmentation_V11_large_300_train_300 knife Detection preview by Segmentation_v8_large_300_train_300
Original Image: P00247.jpg
GT: knife
knife Detection preview by Box_v11_medium_train_SIXray_OPIXray No objects detected Detection preview by DN_Medium_300_yolov8m_20t7_new knife Detection preview by Segmentatation_v8_medium_train_250 knife Detection preview by Segmentation_V11_large_300_train_300 knife Detection preview by Segmentation_v8_large_300_train_300
Original Image: P00248.jpg
GT: knife
knife Detection preview by Box_v11_medium_train_SIXray_OPIXray No objects detected Detection preview by DN_Medium_300_yolov8m_20t7_new knife Detection preview by Segmentatation_v8_medium_train_250 knife Detection preview by Segmentation_V11_large_300_train_300 knife Detection preview by Segmentation_v8_large_300_train_300
Original Image: P00249.jpg
GT: gun, knife
gun, knife Detection preview by Box_v11_medium_train_SIXray_OPIXray No objects detected Detection preview by DN_Medium_300_yolov8m_20t7_new gun, knife Detection preview by Segmentatation_v8_medium_train_250 gun, knife Detection preview by Segmentation_V11_large_300_train_300 gun, knife Detection preview by Segmentation_v8_large_300_train_300
Original Image: P00250.jpg
GT: knife
knife Detection preview by Box_v11_medium_train_SIXray_OPIXray No objects detected Detection preview by DN_Medium_300_yolov8m_20t7_new knife Detection preview by Segmentatation_v8_medium_train_250 knife Detection preview by Segmentation_V11_large_300_train_300 knife Detection preview by Segmentation_v8_large_300_train_300
Original Image: P00251.jpg
GT: gun, knife
gun, knife Detection preview by Box_v11_medium_train_SIXray_OPIXray No objects detected Detection preview by DN_Medium_300_yolov8m_20t7_new gun, knife Detection preview by Segmentatation_v8_medium_train_250 gun, knife Detection preview by Segmentation_V11_large_300_train_300 gun, knife Detection preview by Segmentation_v8_large_300_train_300
Original Image: P00252.jpg
GT: knife
knife Detection preview by Box_v11_medium_train_SIXray_OPIXray No objects detected Detection preview by DN_Medium_300_yolov8m_20t7_new knife Detection preview by Segmentatation_v8_medium_train_250 knife Detection preview by Segmentation_V11_large_300_train_300 knife Detection preview by Segmentation_v8_large_300_train_300
Original Image: P00253.jpg
GT: gun, knife
gun, knife Detection preview by Box_v11_medium_train_SIXray_OPIXray gun Detection preview by DN_Medium_300_yolov8m_20t7_new gun, knife Detection preview by Segmentatation_v8_medium_train_250 gun, knife Detection preview by Segmentation_V11_large_300_train_300 gun, knife Detection preview by Segmentation_v8_large_300_train_300
Original Image: P00254.jpg
GT: knife
knife Detection preview by Box_v11_medium_train_SIXray_OPIXray No objects detected Detection preview by DN_Medium_300_yolov8m_20t7_new knife Detection preview by Segmentatation_v8_medium_train_250 knife Detection preview by Segmentation_V11_large_300_train_300 knife Detection preview by Segmentation_v8_large_300_train_300
Original Image: P00255.jpg
GT: gun, knife
gun, knife Detection preview by Box_v11_medium_train_SIXray_OPIXray gun Detection preview by DN_Medium_300_yolov8m_20t7_new gun, knife Detection preview by Segmentatation_v8_medium_train_250 gun, knife Detection preview by Segmentation_V11_large_300_train_300 gun, knife Detection preview by Segmentation_v8_large_300_train_300
Original Image: P00256.jpg
GT: gun, knife
gun, knife Detection preview by Box_v11_medium_train_SIXray_OPIXray No objects detected Detection preview by DN_Medium_300_yolov8m_20t7_new gun, knife Detection preview by Segmentatation_v8_medium_train_250 gun, knife Detection preview by Segmentation_V11_large_300_train_300 gun, knife Detection preview by Segmentation_v8_large_300_train_300
Original Image: P00257.jpg
GT: knife
knife Detection preview by Box_v11_medium_train_SIXray_OPIXray No objects detected Detection preview by DN_Medium_300_yolov8m_20t7_new knife Detection preview by Segmentatation_v8_medium_train_250 knife Detection preview by Segmentation_V11_large_300_train_300 knife Detection preview by Segmentation_v8_large_300_train_300
Original Image: P00258.jpg
GT: gun, knife
gun, knife Detection preview by Box_v11_medium_train_SIXray_OPIXray No objects detected Detection preview by DN_Medium_300_yolov8m_20t7_new gun, knife Detection preview by Segmentatation_v8_medium_train_250 gun, knife Detection preview by Segmentation_V11_large_300_train_300 gun, knife Detection preview by Segmentation_v8_large_300_train_300
Original Image: P00259.jpg
GT: gun, knife
gun, knife Detection preview by Box_v11_medium_train_SIXray_OPIXray gun Detection preview by DN_Medium_300_yolov8m_20t7_new gun, knife Detection preview by Segmentatation_v8_medium_train_250 gun, knife Detection preview by Segmentation_V11_large_300_train_300 gun, knife Detection preview by Segmentation_v8_large_300_train_300
Original Image: P00260.jpg
GT: knife
knife Detection preview by Box_v11_medium_train_SIXray_OPIXray No objects detected Detection preview by DN_Medium_300_yolov8m_20t7_new knife Detection preview by Segmentatation_v8_medium_train_250 knife Detection preview by Segmentation_V11_large_300_train_300 knife Detection preview by Segmentation_v8_large_300_train_300
Original Image: P00261.jpg
GT: knife
knife Detection preview by Box_v11_medium_train_SIXray_OPIXray No objects detected Detection preview by DN_Medium_300_yolov8m_20t7_new knife Detection preview by Segmentatation_v8_medium_train_250 knife Detection preview by Segmentation_V11_large_300_train_300 knife Detection preview by Segmentation_v8_large_300_train_300
Original Image: P00262.jpg
GT: gun, knife
gun, knife Detection preview by Box_v11_medium_train_SIXray_OPIXray knife Detection preview by DN_Medium_300_yolov8m_20t7_new gun, knife Detection preview by Segmentatation_v8_medium_train_250 gun, knife Detection preview by Segmentation_V11_large_300_train_300 gun, knife Detection preview by Segmentation_v8_large_300_train_300
Original Image: P00263.jpg
GT: gun, knife
gun, knife Detection preview by Box_v11_medium_train_SIXray_OPIXray gun Detection preview by DN_Medium_300_yolov8m_20t7_new gun, knife Detection preview by Segmentatation_v8_medium_train_250 gun, knife Detection preview by Segmentation_V11_large_300_train_300 gun, knife Detection preview by Segmentation_v8_large_300_train_300
Original Image: P00264.jpg
GT: knife
knife Detection preview by Box_v11_medium_train_SIXray_OPIXray No objects detected Detection preview by DN_Medium_300_yolov8m_20t7_new knife Detection preview by Segmentatation_v8_medium_train_250 knife Detection preview by Segmentation_V11_large_300_train_300 knife Detection preview by Segmentation_v8_large_300_train_300
Original Image: P00265.jpg
GT: gun, knife
gun, knife Detection preview by Box_v11_medium_train_SIXray_OPIXray No objects detected Detection preview by DN_Medium_300_yolov8m_20t7_new gun, knife Detection preview by Segmentatation_v8_medium_train_250 gun, knife Detection preview by Segmentation_V11_large_300_train_300 gun, knife Detection preview by Segmentation_v8_large_300_train_300
Original Image: P00266.jpg
GT: knife
knife Detection preview by Box_v11_medium_train_SIXray_OPIXray No objects detected Detection preview by DN_Medium_300_yolov8m_20t7_new knife Detection preview by Segmentatation_v8_medium_train_250 knife Detection preview by Segmentation_V11_large_300_train_300 knife Detection preview by Segmentation_v8_large_300_train_300
Original Image: P00267.jpg
GT: gun, knife
gun, knife Detection preview by Box_v11_medium_train_SIXray_OPIXray gun Detection preview by DN_Medium_300_yolov8m_20t7_new gun, knife Detection preview by Segmentatation_v8_medium_train_250 gun, knife Detection preview by Segmentation_V11_large_300_train_300 gun, knife Detection preview by Segmentation_v8_large_300_train_300
Original Image: P00268.jpg
GT: gun, knife
gun, knife Detection preview by Box_v11_medium_train_SIXray_OPIXray gun Detection preview by DN_Medium_300_yolov8m_20t7_new gun, knife Detection preview by Segmentatation_v8_medium_train_250 gun, knife Detection preview by Segmentation_V11_large_300_train_300 gun, knife Detection preview by Segmentation_v8_large_300_train_300
Original Image: P00269.jpg
GT: knife
knife Detection preview by Box_v11_medium_train_SIXray_OPIXray No objects detected Detection preview by DN_Medium_300_yolov8m_20t7_new knife Detection preview by Segmentatation_v8_medium_train_250 knife Detection preview by Segmentation_V11_large_300_train_300 knife Detection preview by Segmentation_v8_large_300_train_300
Original Image: P00270.jpg
GT: gun, knife
gun, knife Detection preview by Box_v11_medium_train_SIXray_OPIXray No objects detected Detection preview by DN_Medium_300_yolov8m_20t7_new gun, knife Detection preview by Segmentatation_v8_medium_train_250 gun, knife Detection preview by Segmentation_V11_large_300_train_300 gun, knife Detection preview by Segmentation_v8_large_300_train_300
Original Image: P00271.jpg
GT: knife
knife Detection preview by Box_v11_medium_train_SIXray_OPIXray No objects detected Detection preview by DN_Medium_300_yolov8m_20t7_new knife Detection preview by Segmentatation_v8_medium_train_250 knife Detection preview by Segmentation_V11_large_300_train_300 knife Detection preview by Segmentation_v8_large_300_train_300
Original Image: P00272.jpg
GT: knife
knife Detection preview by Box_v11_medium_train_SIXray_OPIXray No objects detected Detection preview by DN_Medium_300_yolov8m_20t7_new knife Detection preview by Segmentatation_v8_medium_train_250 knife Detection preview by Segmentation_V11_large_300_train_300 knife Detection preview by Segmentation_v8_large_300_train_300
Original Image: P00273.jpg
GT: knife
knife Detection preview by Box_v11_medium_train_SIXray_OPIXray No objects detected Detection preview by DN_Medium_300_yolov8m_20t7_new knife Detection preview by Segmentatation_v8_medium_train_250 knife Detection preview by Segmentation_V11_large_300_train_300 knife Detection preview by Segmentation_v8_large_300_train_300
Original Image: P00274.jpg
GT: knife
knife Detection preview by Box_v11_medium_train_SIXray_OPIXray No objects detected Detection preview by DN_Medium_300_yolov8m_20t7_new knife Detection preview by Segmentatation_v8_medium_train_250 knife Detection preview by Segmentation_V11_large_300_train_300 knife Detection preview by Segmentation_v8_large_300_train_300
Original Image: P00275.jpg
GT: knife
knife Detection preview by Box_v11_medium_train_SIXray_OPIXray No objects detected Detection preview by DN_Medium_300_yolov8m_20t7_new knife Detection preview by Segmentatation_v8_medium_train_250 knife Detection preview by Segmentation_V11_large_300_train_300 knife Detection preview by Segmentation_v8_large_300_train_300
Original Image: P00276.jpg
GT: knife
knife, wrench Detection preview by Box_v11_medium_train_SIXray_OPIXray No objects detected Detection preview by DN_Medium_300_yolov8m_20t7_new wrench Detection preview by Segmentatation_v8_medium_train_250 knife, wrench Detection preview by Segmentation_V11_large_300_train_300 wrench Detection preview by Segmentation_v8_large_300_train_300
Original Image: P00277.jpg
GT: gun, knife
gun, knife Detection preview by Box_v11_medium_train_SIXray_OPIXray No objects detected Detection preview by DN_Medium_300_yolov8m_20t7_new gun, knife Detection preview by Segmentatation_v8_medium_train_250 gun, knife Detection preview by Segmentation_V11_large_300_train_300 gun, knife Detection preview by Segmentation_v8_large_300_train_300
Original Image: P00278.jpg
GT: knife
knife Detection preview by Box_v11_medium_train_SIXray_OPIXray No objects detected Detection preview by DN_Medium_300_yolov8m_20t7_new knife Detection preview by Segmentatation_v8_medium_train_250 knife Detection preview by Segmentation_V11_large_300_train_300 knife Detection preview by Segmentation_v8_large_300_train_300
Original Image: P00279.jpg
GT: knife
knife Detection preview by Box_v11_medium_train_SIXray_OPIXray No objects detected Detection preview by DN_Medium_300_yolov8m_20t7_new knife Detection preview by Segmentatation_v8_medium_train_250 knife Detection preview by Segmentation_V11_large_300_train_300 knife Detection preview by Segmentation_v8_large_300_train_300
Original Image: P00280.jpg
GT: gun, knife
gun, knife Detection preview by Box_v11_medium_train_SIXray_OPIXray No objects detected Detection preview by DN_Medium_300_yolov8m_20t7_new gun, knife Detection preview by Segmentatation_v8_medium_train_250 gun, knife Detection preview by Segmentation_V11_large_300_train_300 gun, knife Detection preview by Segmentation_v8_large_300_train_300
Original Image: P00281.jpg
GT: knife
knife Detection preview by Box_v11_medium_train_SIXray_OPIXray No objects detected Detection preview by DN_Medium_300_yolov8m_20t7_new knife Detection preview by Segmentatation_v8_medium_train_250 knife Detection preview by Segmentation_V11_large_300_train_300 knife Detection preview by Segmentation_v8_large_300_train_300
Original Image: P00282.jpg
GT: gun, knife
gun, knife Detection preview by Box_v11_medium_train_SIXray_OPIXray No objects detected Detection preview by DN_Medium_300_yolov8m_20t7_new gun, knife Detection preview by Segmentatation_v8_medium_train_250 gun, knife Detection preview by Segmentation_V11_large_300_train_300 gun, knife Detection preview by Segmentation_v8_large_300_train_300
Original Image: P00283.jpg
GT: gun, knife
gun, knife Detection preview by Box_v11_medium_train_SIXray_OPIXray No objects detected Detection preview by DN_Medium_300_yolov8m_20t7_new gun, knife Detection preview by Segmentatation_v8_medium_train_250 gun, knife Detection preview by Segmentation_V11_large_300_train_300 gun, knife Detection preview by Segmentation_v8_large_300_train_300
Original Image: P00284.jpg
GT: gun, knife
gun, knife Detection preview by Box_v11_medium_train_SIXray_OPIXray No objects detected Detection preview by DN_Medium_300_yolov8m_20t7_new gun, knife Detection preview by Segmentatation_v8_medium_train_250 gun, knife Detection preview by Segmentation_V11_large_300_train_300 gun, knife Detection preview by Segmentation_v8_large_300_train_300
Original Image: P00285.jpg
GT: knife
knife Detection preview by Box_v11_medium_train_SIXray_OPIXray No objects detected Detection preview by DN_Medium_300_yolov8m_20t7_new knife Detection preview by Segmentatation_v8_medium_train_250 knife Detection preview by Segmentation_V11_large_300_train_300 knife Detection preview by Segmentation_v8_large_300_train_300
Original Image: P00286.jpg
GT: knife
knife Detection preview by Box_v11_medium_train_SIXray_OPIXray No objects detected Detection preview by DN_Medium_300_yolov8m_20t7_new knife Detection preview by Segmentatation_v8_medium_train_250 knife Detection preview by Segmentation_V11_large_300_train_300 knife Detection preview by Segmentation_v8_large_300_train_300
Original Image: P00287.jpg
GT: gun, knife
gun, knife Detection preview by Box_v11_medium_train_SIXray_OPIXray No objects detected Detection preview by DN_Medium_300_yolov8m_20t7_new gun, knife Detection preview by Segmentatation_v8_medium_train_250 gun, knife Detection preview by Segmentation_V11_large_300_train_300 gun, knife Detection preview by Segmentation_v8_large_300_train_300
Original Image: P00288.jpg
GT: knife
knife Detection preview by Box_v11_medium_train_SIXray_OPIXray No objects detected Detection preview by DN_Medium_300_yolov8m_20t7_new knife Detection preview by Segmentatation_v8_medium_train_250 knife Detection preview by Segmentation_V11_large_300_train_300 knife Detection preview by Segmentation_v8_large_300_train_300
Original Image: P00289.jpg
GT: knife
knife Detection preview by Box_v11_medium_train_SIXray_OPIXray No objects detected Detection preview by DN_Medium_300_yolov8m_20t7_new knife Detection preview by Segmentatation_v8_medium_train_250 knife Detection preview by Segmentation_V11_large_300_train_300 knife Detection preview by Segmentation_v8_large_300_train_300
Original Image: P00290.jpg
GT: gun, knife
gun, knife Detection preview by Box_v11_medium_train_SIXray_OPIXray No objects detected Detection preview by DN_Medium_300_yolov8m_20t7_new gun, knife Detection preview by Segmentatation_v8_medium_train_250 gun, knife Detection preview by Segmentation_V11_large_300_train_300 gun, knife Detection preview by Segmentation_v8_large_300_train_300
Original Image: P00291.jpg
GT: knife
knife Detection preview by Box_v11_medium_train_SIXray_OPIXray No objects detected Detection preview by DN_Medium_300_yolov8m_20t7_new knife Detection preview by Segmentatation_v8_medium_train_250 knife Detection preview by Segmentation_V11_large_300_train_300 knife Detection preview by Segmentation_v8_large_300_train_300
Original Image: P00292.jpg
GT: knife
knife Detection preview by Box_v11_medium_train_SIXray_OPIXray No objects detected Detection preview by DN_Medium_300_yolov8m_20t7_new knife Detection preview by Segmentatation_v8_medium_train_250 knife Detection preview by Segmentation_V11_large_300_train_300 knife Detection preview by Segmentation_v8_large_300_train_300
Original Image: P00293.jpg
GT: knife
knife Detection preview by Box_v11_medium_train_SIXray_OPIXray No objects detected Detection preview by DN_Medium_300_yolov8m_20t7_new knife Detection preview by Segmentatation_v8_medium_train_250 knife Detection preview by Segmentation_V11_large_300_train_300 knife Detection preview by Segmentation_v8_large_300_train_300
Original Image: P00294.jpg
GT: gun, knife
gun, knife Detection preview by Box_v11_medium_train_SIXray_OPIXray gun Detection preview by DN_Medium_300_yolov8m_20t7_new gun, knife Detection preview by Segmentatation_v8_medium_train_250 gun, knife Detection preview by Segmentation_V11_large_300_train_300 gun, knife Detection preview by Segmentation_v8_large_300_train_300
Original Image: P00295.jpg
GT: knife
knife Detection preview by Box_v11_medium_train_SIXray_OPIXray No objects detected Detection preview by DN_Medium_300_yolov8m_20t7_new knife Detection preview by Segmentatation_v8_medium_train_250 knife Detection preview by Segmentation_V11_large_300_train_300 knife Detection preview by Segmentation_v8_large_300_train_300
Original Image: P00296.jpg
GT: gun, knife
gun, knife Detection preview by Box_v11_medium_train_SIXray_OPIXray No objects detected Detection preview by DN_Medium_300_yolov8m_20t7_new gun, knife Detection preview by Segmentatation_v8_medium_train_250 gun, knife Detection preview by Segmentation_V11_large_300_train_300 gun, knife Detection preview by Segmentation_v8_large_300_train_300
Original Image: P00297.jpg
GT: gun, knife
gun, knife Detection preview by Box_v11_medium_train_SIXray_OPIXray No objects detected Detection preview by DN_Medium_300_yolov8m_20t7_new gun, knife Detection preview by Segmentatation_v8_medium_train_250 gun, knife Detection preview by Segmentation_V11_large_300_train_300 gun, knife Detection preview by Segmentation_v8_large_300_train_300
Original Image: P00298.jpg
GT: knife
knife Detection preview by Box_v11_medium_train_SIXray_OPIXray No objects detected Detection preview by DN_Medium_300_yolov8m_20t7_new knife Detection preview by Segmentatation_v8_medium_train_250 knife Detection preview by Segmentation_V11_large_300_train_300 knife Detection preview by Segmentation_v8_large_300_train_300
Original Image: P00299.jpg
GT: gun, knife
gun, knife Detection preview by Box_v11_medium_train_SIXray_OPIXray gun Detection preview by DN_Medium_300_yolov8m_20t7_new gun, knife Detection preview by Segmentatation_v8_medium_train_250 gun, knife Detection preview by Segmentation_V11_large_300_train_300 gun, knife Detection preview by Segmentation_v8_large_300_train_300
Original Image: P00300.jpg
GT: gun, knife
gun, knife Detection preview by Box_v11_medium_train_SIXray_OPIXray No objects detected Detection preview by DN_Medium_300_yolov8m_20t7_new gun, knife Detection preview by Segmentatation_v8_medium_train_250 gun, knife Detection preview by Segmentation_V11_large_300_train_300 gun, knife Detection preview by Segmentation_v8_large_300_train_300
Original Image: P00301.jpg
GT: knife
knife Detection preview by Box_v11_medium_train_SIXray_OPIXray No objects detected Detection preview by DN_Medium_300_yolov8m_20t7_new knife Detection preview by Segmentatation_v8_medium_train_250 knife Detection preview by Segmentation_V11_large_300_train_300 knife Detection preview by Segmentation_v8_large_300_train_300
Original Image: P00302.jpg
GT: gun, knife
gun, knife Detection preview by Box_v11_medium_train_SIXray_OPIXray gun Detection preview by DN_Medium_300_yolov8m_20t7_new gun, knife Detection preview by Segmentatation_v8_medium_train_250 gun, knife Detection preview by Segmentation_V11_large_300_train_300 gun, knife Detection preview by Segmentation_v8_large_300_train_300
Original Image: P00303.jpg
GT: knife
knife Detection preview by Box_v11_medium_train_SIXray_OPIXray No objects detected Detection preview by DN_Medium_300_yolov8m_20t7_new knife Detection preview by Segmentatation_v8_medium_train_250 knife Detection preview by Segmentation_V11_large_300_train_300 knife Detection preview by Segmentation_v8_large_300_train_300
Original Image: P00304.jpg
GT: gun, knife
gun, knife Detection preview by Box_v11_medium_train_SIXray_OPIXray No objects detected Detection preview by DN_Medium_300_yolov8m_20t7_new gun, knife Detection preview by Segmentatation_v8_medium_train_250 gun, knife Detection preview by Segmentation_V11_large_300_train_300 gun, knife Detection preview by Segmentation_v8_large_300_train_300
Original Image: P00305.jpg
GT: gun, knife
gun, knife Detection preview by Box_v11_medium_train_SIXray_OPIXray gun Detection preview by DN_Medium_300_yolov8m_20t7_new gun, knife Detection preview by Segmentatation_v8_medium_train_250 gun, knife Detection preview by Segmentation_V11_large_300_train_300 gun, knife Detection preview by Segmentation_v8_large_300_train_300
Original Image: P00306.jpg
GT: knife
knife Detection preview by Box_v11_medium_train_SIXray_OPIXray No objects detected Detection preview by DN_Medium_300_yolov8m_20t7_new knife Detection preview by Segmentatation_v8_medium_train_250 knife Detection preview by Segmentation_V11_large_300_train_300 knife Detection preview by Segmentation_v8_large_300_train_300
Original Image: P00307.jpg
GT: gun, knife
gun, knife Detection preview by Box_v11_medium_train_SIXray_OPIXray gun Detection preview by DN_Medium_300_yolov8m_20t7_new gun, knife Detection preview by Segmentatation_v8_medium_train_250 gun, knife Detection preview by Segmentation_V11_large_300_train_300 gun, knife Detection preview by Segmentation_v8_large_300_train_300
Original Image: P00308.jpg
GT: knife
knife Detection preview by Box_v11_medium_train_SIXray_OPIXray No objects detected Detection preview by DN_Medium_300_yolov8m_20t7_new knife Detection preview by Segmentatation_v8_medium_train_250 knife Detection preview by Segmentation_V11_large_300_train_300 knife Detection preview by Segmentation_v8_large_300_train_300
Original Image: P00309.jpg
GT: gun, knife
gun, knife Detection preview by Box_v11_medium_train_SIXray_OPIXray gun Detection preview by DN_Medium_300_yolov8m_20t7_new gun, knife Detection preview by Segmentatation_v8_medium_train_250 gun, knife Detection preview by Segmentation_V11_large_300_train_300 gun, knife Detection preview by Segmentation_v8_large_300_train_300
Original Image: P00310.jpg
GT: gun, knife
gun, knife Detection preview by Box_v11_medium_train_SIXray_OPIXray No objects detected Detection preview by DN_Medium_300_yolov8m_20t7_new gun, knife Detection preview by Segmentatation_v8_medium_train_250 gun, knife Detection preview by Segmentation_V11_large_300_train_300 gun, knife Detection preview by Segmentation_v8_large_300_train_300
Original Image: P00311.jpg
GT: knife
knife Detection preview by Box_v11_medium_train_SIXray_OPIXray No objects detected Detection preview by DN_Medium_300_yolov8m_20t7_new knife Detection preview by Segmentatation_v8_medium_train_250 knife Detection preview by Segmentation_V11_large_300_train_300 knife Detection preview by Segmentation_v8_large_300_train_300
Original Image: P00312.jpg
GT: gun, knife
gun, knife Detection preview by Box_v11_medium_train_SIXray_OPIXray gun Detection preview by DN_Medium_300_yolov8m_20t7_new gun, knife Detection preview by Segmentatation_v8_medium_train_250 gun, knife Detection preview by Segmentation_V11_large_300_train_300 gun, knife Detection preview by Segmentation_v8_large_300_train_300
Original Image: P00313.jpg
GT: gun, knife
gun, knife Detection preview by Box_v11_medium_train_SIXray_OPIXray gun Detection preview by DN_Medium_300_yolov8m_20t7_new gun, knife Detection preview by Segmentatation_v8_medium_train_250 gun, knife Detection preview by Segmentation_V11_large_300_train_300 gun, knife Detection preview by Segmentation_v8_large_300_train_300
Original Image: P00314.jpg
GT: knife
knife Detection preview by Box_v11_medium_train_SIXray_OPIXray No objects detected Detection preview by DN_Medium_300_yolov8m_20t7_new knife Detection preview by Segmentatation_v8_medium_train_250 knife Detection preview by Segmentation_V11_large_300_train_300 knife Detection preview by Segmentation_v8_large_300_train_300
Original Image: P00315.jpg
GT: gun, knife
gun, knife Detection preview by Box_v11_medium_train_SIXray_OPIXray gun Detection preview by DN_Medium_300_yolov8m_20t7_new gun, knife Detection preview by Segmentatation_v8_medium_train_250 gun, knife Detection preview by Segmentation_V11_large_300_train_300 gun, knife Detection preview by Segmentation_v8_large_300_train_300
Original Image: P00316.jpg
GT: gun, knife
gun, knife Detection preview by Box_v11_medium_train_SIXray_OPIXray gun Detection preview by DN_Medium_300_yolov8m_20t7_new gun, knife Detection preview by Segmentatation_v8_medium_train_250 gun, knife Detection preview by Segmentation_V11_large_300_train_300 gun, knife Detection preview by Segmentation_v8_large_300_train_300
Original Image: P00317.jpg
GT: knife
knife Detection preview by Box_v11_medium_train_SIXray_OPIXray No objects detected Detection preview by DN_Medium_300_yolov8m_20t7_new knife Detection preview by Segmentatation_v8_medium_train_250 knife Detection preview by Segmentation_V11_large_300_train_300 knife Detection preview by Segmentation_v8_large_300_train_300
Original Image: P00318.jpg
GT: knife
knife Detection preview by Box_v11_medium_train_SIXray_OPIXray No objects detected Detection preview by DN_Medium_300_yolov8m_20t7_new knife Detection preview by Segmentatation_v8_medium_train_250 knife Detection preview by Segmentation_V11_large_300_train_300 knife Detection preview by Segmentation_v8_large_300_train_300
Original Image: P00319.jpg
GT: knife
knife Detection preview by Box_v11_medium_train_SIXray_OPIXray No objects detected Detection preview by DN_Medium_300_yolov8m_20t7_new knife Detection preview by Segmentatation_v8_medium_train_250 knife Detection preview by Segmentation_V11_large_300_train_300 knife Detection preview by Segmentation_v8_large_300_train_300
Original Image: P00320.jpg
GT: gun, knife
gun, knife Detection preview by Box_v11_medium_train_SIXray_OPIXray No objects detected Detection preview by DN_Medium_300_yolov8m_20t7_new gun, knife Detection preview by Segmentatation_v8_medium_train_250 gun, knife Detection preview by Segmentation_V11_large_300_train_300 gun, knife Detection preview by Segmentation_v8_large_300_train_300
Original Image: P00321.jpg
GT: knife
knife Detection preview by Box_v11_medium_train_SIXray_OPIXray No objects detected Detection preview by DN_Medium_300_yolov8m_20t7_new knife Detection preview by Segmentatation_v8_medium_train_250 knife Detection preview by Segmentation_V11_large_300_train_300 knife Detection preview by Segmentation_v8_large_300_train_300
Original Image: P00322.jpg
GT: gun, knife
gun, knife Detection preview by Box_v11_medium_train_SIXray_OPIXray gun Detection preview by DN_Medium_300_yolov8m_20t7_new gun, knife Detection preview by Segmentatation_v8_medium_train_250 gun, knife Detection preview by Segmentation_V11_large_300_train_300 gun, knife Detection preview by Segmentation_v8_large_300_train_300
Original Image: P00323.jpg
GT: gun, knife
gun, knife Detection preview by Box_v11_medium_train_SIXray_OPIXray No objects detected Detection preview by DN_Medium_300_yolov8m_20t7_new gun, knife Detection preview by Segmentatation_v8_medium_train_250 gun, knife Detection preview by Segmentation_V11_large_300_train_300 gun, knife Detection preview by Segmentation_v8_large_300_train_300
Original Image: P00324.jpg
GT: knife
knife Detection preview by Box_v11_medium_train_SIXray_OPIXray No objects detected Detection preview by DN_Medium_300_yolov8m_20t7_new knife Detection preview by Segmentatation_v8_medium_train_250 knife Detection preview by Segmentation_V11_large_300_train_300 knife Detection preview by Segmentation_v8_large_300_train_300
Original Image: P00325.jpg
GT: gun, knife
gun, knife Detection preview by Box_v11_medium_train_SIXray_OPIXray gun Detection preview by DN_Medium_300_yolov8m_20t7_new gun, knife Detection preview by Segmentatation_v8_medium_train_250 gun, knife Detection preview by Segmentation_V11_large_300_train_300 gun, knife Detection preview by Segmentation_v8_large_300_train_300
Original Image: P00326.jpg
GT: gun, knife
gun, knife Detection preview by Box_v11_medium_train_SIXray_OPIXray No objects detected Detection preview by DN_Medium_300_yolov8m_20t7_new gun, knife Detection preview by Segmentatation_v8_medium_train_250 gun, knife Detection preview by Segmentation_V11_large_300_train_300 gun, knife Detection preview by Segmentation_v8_large_300_train_300
Original Image: P00327.jpg
GT: knife
knife Detection preview by Box_v11_medium_train_SIXray_OPIXray No objects detected Detection preview by DN_Medium_300_yolov8m_20t7_new knife Detection preview by Segmentatation_v8_medium_train_250 knife Detection preview by Segmentation_V11_large_300_train_300 knife Detection preview by Segmentation_v8_large_300_train_300
Original Image: P00328.jpg
GT: knife
knife Detection preview by Box_v11_medium_train_SIXray_OPIXray No objects detected Detection preview by DN_Medium_300_yolov8m_20t7_new knife Detection preview by Segmentatation_v8_medium_train_250 knife Detection preview by Segmentation_V11_large_300_train_300 knife Detection preview by Segmentation_v8_large_300_train_300
Original Image: P00329.jpg
GT: gun, knife
gun, knife Detection preview by Box_v11_medium_train_SIXray_OPIXray No objects detected Detection preview by DN_Medium_300_yolov8m_20t7_new gun, knife Detection preview by Segmentatation_v8_medium_train_250 gun, knife Detection preview by Segmentation_V11_large_300_train_300 gun, knife Detection preview by Segmentation_v8_large_300_train_300
Original Image: P00330.jpg
GT: gun, knife
gun, knife Detection preview by Box_v11_medium_train_SIXray_OPIXray gun Detection preview by DN_Medium_300_yolov8m_20t7_new gun, knife Detection preview by Segmentatation_v8_medium_train_250 gun, knife Detection preview by Segmentation_V11_large_300_train_300 gun, knife Detection preview by Segmentation_v8_large_300_train_300
Original Image: P00331.jpg
GT: knife
knife Detection preview by Box_v11_medium_train_SIXray_OPIXray No objects detected Detection preview by DN_Medium_300_yolov8m_20t7_new knife Detection preview by Segmentatation_v8_medium_train_250 knife Detection preview by Segmentation_V11_large_300_train_300 knife Detection preview by Segmentation_v8_large_300_train_300
Original Image: P00332.jpg
GT: gun, knife
gun, knife Detection preview by Box_v11_medium_train_SIXray_OPIXray No objects detected Detection preview by DN_Medium_300_yolov8m_20t7_new gun, knife Detection preview by Segmentatation_v8_medium_train_250 gun, knife Detection preview by Segmentation_V11_large_300_train_300 gun, knife Detection preview by Segmentation_v8_large_300_train_300
Original Image: P00333.jpg
GT: gun, knife
gun, knife Detection preview by Box_v11_medium_train_SIXray_OPIXray gun Detection preview by DN_Medium_300_yolov8m_20t7_new gun, knife Detection preview by Segmentatation_v8_medium_train_250 gun, knife Detection preview by Segmentation_V11_large_300_train_300 gun, knife Detection preview by Segmentation_v8_large_300_train_300
Original Image: P00334.jpg
GT: gun, knife
gun, knife Detection preview by Box_v11_medium_train_SIXray_OPIXray No objects detected Detection preview by DN_Medium_300_yolov8m_20t7_new gun, knife Detection preview by Segmentatation_v8_medium_train_250 gun, knife Detection preview by Segmentation_V11_large_300_train_300 gun, knife Detection preview by Segmentation_v8_large_300_train_300
Original Image: P00335.jpg
GT: gun, knife
gun, knife Detection preview by Box_v11_medium_train_SIXray_OPIXray No objects detected Detection preview by DN_Medium_300_yolov8m_20t7_new gun, knife Detection preview by Segmentatation_v8_medium_train_250 gun, knife Detection preview by Segmentation_V11_large_300_train_300 gun, knife Detection preview by Segmentation_v8_large_300_train_300
Original Image: P00336.jpg
GT: gun, knife
gun, knife Detection preview by Box_v11_medium_train_SIXray_OPIXray gun Detection preview by DN_Medium_300_yolov8m_20t7_new gun, knife Detection preview by Segmentatation_v8_medium_train_250 gun, knife Detection preview by Segmentation_V11_large_300_train_300 gun, knife Detection preview by Segmentation_v8_large_300_train_300
Original Image: P00337.jpg
GT: gun, knife
gun, knife Detection preview by Box_v11_medium_train_SIXray_OPIXray No objects detected Detection preview by DN_Medium_300_yolov8m_20t7_new gun, knife Detection preview by Segmentatation_v8_medium_train_250 gun, knife Detection preview by Segmentation_V11_large_300_train_300 gun, knife Detection preview by Segmentation_v8_large_300_train_300
Original Image: P00338.jpg
GT: gun, knife
gun, knife Detection preview by Box_v11_medium_train_SIXray_OPIXray gun Detection preview by DN_Medium_300_yolov8m_20t7_new gun, knife Detection preview by Segmentatation_v8_medium_train_250 gun, knife Detection preview by Segmentation_V11_large_300_train_300 gun, knife Detection preview by Segmentation_v8_large_300_train_300
Original Image: P00339.jpg
GT: gun, knife
gun, knife Detection preview by Box_v11_medium_train_SIXray_OPIXray gun Detection preview by DN_Medium_300_yolov8m_20t7_new gun, knife Detection preview by Segmentatation_v8_medium_train_250 gun, knife Detection preview by Segmentation_V11_large_300_train_300 gun, knife Detection preview by Segmentation_v8_large_300_train_300
Original Image: P00340.jpg
GT: gun, knife
gun, knife Detection preview by Box_v11_medium_train_SIXray_OPIXray gun Detection preview by DN_Medium_300_yolov8m_20t7_new gun, knife Detection preview by Segmentatation_v8_medium_train_250 gun, knife Detection preview by Segmentation_V11_large_300_train_300 gun, knife Detection preview by Segmentation_v8_large_300_train_300
Original Image: P00341.jpg
GT: gun, knife
gun, knife Detection preview by Box_v11_medium_train_SIXray_OPIXray No objects detected Detection preview by DN_Medium_300_yolov8m_20t7_new gun, knife Detection preview by Segmentatation_v8_medium_train_250 gun, knife Detection preview by Segmentation_V11_large_300_train_300 gun, knife Detection preview by Segmentation_v8_large_300_train_300
Original Image: P00342.jpg
GT: knife
knife Detection preview by Box_v11_medium_train_SIXray_OPIXray No objects detected Detection preview by DN_Medium_300_yolov8m_20t7_new knife Detection preview by Segmentatation_v8_medium_train_250 knife Detection preview by Segmentation_V11_large_300_train_300 gun, knife Detection preview by Segmentation_v8_large_300_train_300
Original Image: P00343.jpg
GT: gun, knife
gun, knife Detection preview by Box_v11_medium_train_SIXray_OPIXray No objects detected Detection preview by DN_Medium_300_yolov8m_20t7_new gun, knife Detection preview by Segmentatation_v8_medium_train_250 gun, knife Detection preview by Segmentation_V11_large_300_train_300 gun, knife Detection preview by Segmentation_v8_large_300_train_300
Original Image: P00344.jpg
GT: gun, knife
gun, knife Detection preview by Box_v11_medium_train_SIXray_OPIXray gun Detection preview by DN_Medium_300_yolov8m_20t7_new gun, knife Detection preview by Segmentatation_v8_medium_train_250 gun, knife Detection preview by Segmentation_V11_large_300_train_300 gun, knife Detection preview by Segmentation_v8_large_300_train_300
Original Image: P00345.jpg
GT: gun, knife
gun, knife Detection preview by Box_v11_medium_train_SIXray_OPIXray No objects detected Detection preview by DN_Medium_300_yolov8m_20t7_new gun, knife Detection preview by Segmentatation_v8_medium_train_250 gun, knife Detection preview by Segmentation_V11_large_300_train_300 gun, knife Detection preview by Segmentation_v8_large_300_train_300
Original Image: P00346.jpg
GT: gun, knife
gun, knife Detection preview by Box_v11_medium_train_SIXray_OPIXray gun Detection preview by DN_Medium_300_yolov8m_20t7_new gun, knife Detection preview by Segmentatation_v8_medium_train_250 gun, knife Detection preview by Segmentation_V11_large_300_train_300 gun, knife Detection preview by Segmentation_v8_large_300_train_300
Original Image: P00347.jpg
GT: gun, knife
gun, knife Detection preview by Box_v11_medium_train_SIXray_OPIXray gun Detection preview by DN_Medium_300_yolov8m_20t7_new gun, knife Detection preview by Segmentatation_v8_medium_train_250 gun, knife Detection preview by Segmentation_V11_large_300_train_300 gun, knife Detection preview by Segmentation_v8_large_300_train_300
Original Image: P00348.jpg
GT: gun, knife
gun, knife Detection preview by Box_v11_medium_train_SIXray_OPIXray gun Detection preview by DN_Medium_300_yolov8m_20t7_new gun, knife Detection preview by Segmentatation_v8_medium_train_250 gun, knife Detection preview by Segmentation_V11_large_300_train_300 gun, knife Detection preview by Segmentation_v8_large_300_train_300
Original Image: P00349.jpg
GT: gun, knife
gun, knife Detection preview by Box_v11_medium_train_SIXray_OPIXray gun Detection preview by DN_Medium_300_yolov8m_20t7_new gun, knife Detection preview by Segmentatation_v8_medium_train_250 gun, knife Detection preview by Segmentation_V11_large_300_train_300 gun, knife Detection preview by Segmentation_v8_large_300_train_300
Original Image: P00350.jpg
GT: gun, knife
gun, knife Detection preview by Box_v11_medium_train_SIXray_OPIXray No objects detected Detection preview by DN_Medium_300_yolov8m_20t7_new gun, knife Detection preview by Segmentatation_v8_medium_train_250 gun, knife Detection preview by Segmentation_V11_large_300_train_300 gun, knife Detection preview by Segmentation_v8_large_300_train_300
Original Image: P00351.jpg
GT: gun, knife
gun, knife Detection preview by Box_v11_medium_train_SIXray_OPIXray gun Detection preview by DN_Medium_300_yolov8m_20t7_new gun, knife Detection preview by Segmentatation_v8_medium_train_250 gun, knife Detection preview by Segmentation_V11_large_300_train_300 gun, knife Detection preview by Segmentation_v8_large_300_train_300
Original Image: P00352.jpg
GT: gun, knife
gun, knife Detection preview by Box_v11_medium_train_SIXray_OPIXray gun Detection preview by DN_Medium_300_yolov8m_20t7_new gun, knife Detection preview by Segmentatation_v8_medium_train_250 gun, knife Detection preview by Segmentation_V11_large_300_train_300 gun, knife Detection preview by Segmentation_v8_large_300_train_300
Original Image: P00353.jpg
GT: gun, knife
gun, knife Detection preview by Box_v11_medium_train_SIXray_OPIXray No objects detected Detection preview by DN_Medium_300_yolov8m_20t7_new gun, knife Detection preview by Segmentatation_v8_medium_train_250 gun, knife Detection preview by Segmentation_V11_large_300_train_300 gun, knife Detection preview by Segmentation_v8_large_300_train_300
Original Image: P00354.jpg
GT: gun, knife
gun, knife Detection preview by Box_v11_medium_train_SIXray_OPIXray No objects detected Detection preview by DN_Medium_300_yolov8m_20t7_new gun, knife Detection preview by Segmentatation_v8_medium_train_250 gun, knife Detection preview by Segmentation_V11_large_300_train_300 gun, knife Detection preview by Segmentation_v8_large_300_train_300
Original Image: P00355.jpg
GT: gun, knife
gun, knife Detection preview by Box_v11_medium_train_SIXray_OPIXray No objects detected Detection preview by DN_Medium_300_yolov8m_20t7_new gun, knife Detection preview by Segmentatation_v8_medium_train_250 gun, knife Detection preview by Segmentation_V11_large_300_train_300 gun, knife Detection preview by Segmentation_v8_large_300_train_300
Original Image: P00356.jpg
GT: gun, knife
gun, knife Detection preview by Box_v11_medium_train_SIXray_OPIXray No objects detected Detection preview by DN_Medium_300_yolov8m_20t7_new gun, knife Detection preview by Segmentatation_v8_medium_train_250 gun, knife Detection preview by Segmentation_V11_large_300_train_300 gun, knife Detection preview by Segmentation_v8_large_300_train_300
Original Image: P00357.jpg
GT: gun, knife
gun, knife Detection preview by Box_v11_medium_train_SIXray_OPIXray gun Detection preview by DN_Medium_300_yolov8m_20t7_new gun, knife Detection preview by Segmentatation_v8_medium_train_250 gun, knife Detection preview by Segmentation_V11_large_300_train_300 gun, knife Detection preview by Segmentation_v8_large_300_train_300
Original Image: P00358.jpg
GT: gun, knife
gun, knife Detection preview by Box_v11_medium_train_SIXray_OPIXray No objects detected Detection preview by DN_Medium_300_yolov8m_20t7_new gun, knife Detection preview by Segmentatation_v8_medium_train_250 gun, knife Detection preview by Segmentation_V11_large_300_train_300 gun, knife Detection preview by Segmentation_v8_large_300_train_300
Original Image: P00359.jpg
GT: gun, knife
gun, knife Detection preview by Box_v11_medium_train_SIXray_OPIXray No objects detected Detection preview by DN_Medium_300_yolov8m_20t7_new gun, knife Detection preview by Segmentatation_v8_medium_train_250 gun, knife Detection preview by Segmentation_V11_large_300_train_300 gun, knife Detection preview by Segmentation_v8_large_300_train_300
Original Image: P00360.jpg
GT: gun, knife
gun, knife Detection preview by Box_v11_medium_train_SIXray_OPIXray No objects detected Detection preview by DN_Medium_300_yolov8m_20t7_new gun, knife Detection preview by Segmentatation_v8_medium_train_250 gun, knife Detection preview by Segmentation_V11_large_300_train_300 gun, knife Detection preview by Segmentation_v8_large_300_train_300
Original Image: P00361.jpg
GT: gun, knife
gun, knife Detection preview by Box_v11_medium_train_SIXray_OPIXray No objects detected Detection preview by DN_Medium_300_yolov8m_20t7_new gun, knife Detection preview by Segmentatation_v8_medium_train_250 gun, knife Detection preview by Segmentation_V11_large_300_train_300 gun, knife Detection preview by Segmentation_v8_large_300_train_300
Original Image: P00362.jpg
GT: gun, knife
gun, knife Detection preview by Box_v11_medium_train_SIXray_OPIXray No objects detected Detection preview by DN_Medium_300_yolov8m_20t7_new gun, knife Detection preview by Segmentatation_v8_medium_train_250 gun, knife Detection preview by Segmentation_V11_large_300_train_300 gun, knife Detection preview by Segmentation_v8_large_300_train_300
Original Image: P00363.jpg
GT: gun, knife
gun, knife Detection preview by Box_v11_medium_train_SIXray_OPIXray gun Detection preview by DN_Medium_300_yolov8m_20t7_new gun, knife Detection preview by Segmentatation_v8_medium_train_250 gun, knife Detection preview by Segmentation_V11_large_300_train_300 gun, knife Detection preview by Segmentation_v8_large_300_train_300
Original Image: P00364.jpg
GT: gun, knife
gun, knife Detection preview by Box_v11_medium_train_SIXray_OPIXray No objects detected Detection preview by DN_Medium_300_yolov8m_20t7_new gun, knife Detection preview by Segmentatation_v8_medium_train_250 gun, knife Detection preview by Segmentation_V11_large_300_train_300 gun, knife Detection preview by Segmentation_v8_large_300_train_300
Original Image: P00365.jpg
GT: gun, knife
gun, knife Detection preview by Box_v11_medium_train_SIXray_OPIXray No objects detected Detection preview by DN_Medium_300_yolov8m_20t7_new gun, knife Detection preview by Segmentatation_v8_medium_train_250 gun, knife Detection preview by Segmentation_V11_large_300_train_300 gun, knife Detection preview by Segmentation_v8_large_300_train_300
Original Image: P00366.jpg
GT: gun, knife
gun, knife Detection preview by Box_v11_medium_train_SIXray_OPIXray No objects detected Detection preview by DN_Medium_300_yolov8m_20t7_new gun, knife Detection preview by Segmentatation_v8_medium_train_250 gun, knife Detection preview by Segmentation_V11_large_300_train_300 gun, knife Detection preview by Segmentation_v8_large_300_train_300
Original Image: P00367.jpg
GT: gun, knife
gun, knife Detection preview by Box_v11_medium_train_SIXray_OPIXray No objects detected Detection preview by DN_Medium_300_yolov8m_20t7_new gun, knife Detection preview by Segmentatation_v8_medium_train_250 gun, knife Detection preview by Segmentation_V11_large_300_train_300 gun, knife Detection preview by Segmentation_v8_large_300_train_300
Original Image: P00368.jpg
GT: gun, knife
gun, knife Detection preview by Box_v11_medium_train_SIXray_OPIXray gun Detection preview by DN_Medium_300_yolov8m_20t7_new gun, knife Detection preview by Segmentatation_v8_medium_train_250 gun, knife Detection preview by Segmentation_V11_large_300_train_300 gun, knife Detection preview by Segmentation_v8_large_300_train_300
Original Image: P00369.jpg
GT: gun, knife
gun, knife Detection preview by Box_v11_medium_train_SIXray_OPIXray No objects detected Detection preview by DN_Medium_300_yolov8m_20t7_new gun, knife Detection preview by Segmentatation_v8_medium_train_250 gun, knife Detection preview by Segmentation_V11_large_300_train_300 gun, knife Detection preview by Segmentation_v8_large_300_train_300
Original Image: P00370.jpg
GT: gun, knife
gun, knife Detection preview by Box_v11_medium_train_SIXray_OPIXray No objects detected Detection preview by DN_Medium_300_yolov8m_20t7_new gun, knife Detection preview by Segmentatation_v8_medium_train_250 gun, knife Detection preview by Segmentation_V11_large_300_train_300 gun, knife Detection preview by Segmentation_v8_large_300_train_300
Original Image: P00371.jpg
GT: gun, knife
gun, knife Detection preview by Box_v11_medium_train_SIXray_OPIXray No objects detected Detection preview by DN_Medium_300_yolov8m_20t7_new gun, knife Detection preview by Segmentatation_v8_medium_train_250 gun, knife Detection preview by Segmentation_V11_large_300_train_300 gun, knife Detection preview by Segmentation_v8_large_300_train_300
Original Image: P00372.jpg
GT: gun, knife
gun, knife Detection preview by Box_v11_medium_train_SIXray_OPIXray No objects detected Detection preview by DN_Medium_300_yolov8m_20t7_new gun, knife Detection preview by Segmentatation_v8_medium_train_250 gun, knife Detection preview by Segmentation_V11_large_300_train_300 gun, knife Detection preview by Segmentation_v8_large_300_train_300
Original Image: P00373.jpg
GT: gun, knife
gun, knife Detection preview by Box_v11_medium_train_SIXray_OPIXray gun Detection preview by DN_Medium_300_yolov8m_20t7_new gun, knife Detection preview by Segmentatation_v8_medium_train_250 gun, knife Detection preview by Segmentation_V11_large_300_train_300 gun, knife Detection preview by Segmentation_v8_large_300_train_300
Original Image: P00374.jpg
GT: gun, knife
gun, knife Detection preview by Box_v11_medium_train_SIXray_OPIXray No objects detected Detection preview by DN_Medium_300_yolov8m_20t7_new gun, knife Detection preview by Segmentatation_v8_medium_train_250 gun, knife Detection preview by Segmentation_V11_large_300_train_300 gun, knife Detection preview by Segmentation_v8_large_300_train_300
Original Image: P00375.jpg
GT: gun, knife
gun, knife Detection preview by Box_v11_medium_train_SIXray_OPIXray No objects detected Detection preview by DN_Medium_300_yolov8m_20t7_new gun, knife Detection preview by Segmentatation_v8_medium_train_250 gun, knife Detection preview by Segmentation_V11_large_300_train_300 gun, knife Detection preview by Segmentation_v8_large_300_train_300
Original Image: P00376.jpg
GT: gun, knife
gun, knife Detection preview by Box_v11_medium_train_SIXray_OPIXray No objects detected Detection preview by DN_Medium_300_yolov8m_20t7_new gun, knife Detection preview by Segmentatation_v8_medium_train_250 gun, knife Detection preview by Segmentation_V11_large_300_train_300 gun, knife Detection preview by Segmentation_v8_large_300_train_300
Original Image: P00377.jpg
GT: gun, knife
gun, knife Detection preview by Box_v11_medium_train_SIXray_OPIXray No objects detected Detection preview by DN_Medium_300_yolov8m_20t7_new gun, knife Detection preview by Segmentatation_v8_medium_train_250 gun, knife Detection preview by Segmentation_V11_large_300_train_300 gun, knife Detection preview by Segmentation_v8_large_300_train_300
Original Image: P00378.jpg
GT: gun, knife
gun, knife Detection preview by Box_v11_medium_train_SIXray_OPIXray gun Detection preview by DN_Medium_300_yolov8m_20t7_new gun, knife Detection preview by Segmentatation_v8_medium_train_250 gun, knife Detection preview by Segmentation_V11_large_300_train_300 gun, knife Detection preview by Segmentation_v8_large_300_train_300
Original Image: P00379.jpg
GT: gun, knife
gun, knife Detection preview by Box_v11_medium_train_SIXray_OPIXray gun Detection preview by DN_Medium_300_yolov8m_20t7_new gun, knife Detection preview by Segmentatation_v8_medium_train_250 gun, knife Detection preview by Segmentation_V11_large_300_train_300 gun, knife Detection preview by Segmentation_v8_large_300_train_300
Original Image: P00380.jpg
GT: gun, knife
gun, knife Detection preview by Box_v11_medium_train_SIXray_OPIXray No objects detected Detection preview by DN_Medium_300_yolov8m_20t7_new gun, knife Detection preview by Segmentatation_v8_medium_train_250 gun, knife Detection preview by Segmentation_V11_large_300_train_300 gun, knife Detection preview by Segmentation_v8_large_300_train_300
Original Image: P00381.jpg
GT: gun, knife
gun, knife Detection preview by Box_v11_medium_train_SIXray_OPIXray No objects detected Detection preview by DN_Medium_300_yolov8m_20t7_new gun, knife Detection preview by Segmentatation_v8_medium_train_250 gun, knife Detection preview by Segmentation_V11_large_300_train_300 gun, knife Detection preview by Segmentation_v8_large_300_train_300
Original Image: P00382.jpg
GT: gun, knife
gun, knife Detection preview by Box_v11_medium_train_SIXray_OPIXray No objects detected Detection preview by DN_Medium_300_yolov8m_20t7_new gun, knife Detection preview by Segmentatation_v8_medium_train_250 gun, knife Detection preview by Segmentation_V11_large_300_train_300 gun, knife Detection preview by Segmentation_v8_large_300_train_300
Original Image: P00383.jpg
GT: gun, knife
gun, knife Detection preview by Box_v11_medium_train_SIXray_OPIXray gun Detection preview by DN_Medium_300_yolov8m_20t7_new gun, knife Detection preview by Segmentatation_v8_medium_train_250 gun, knife Detection preview by Segmentation_V11_large_300_train_300 gun, knife Detection preview by Segmentation_v8_large_300_train_300
Original Image: P00384.jpg
GT: knife
knife Detection preview by Box_v11_medium_train_SIXray_OPIXray No objects detected Detection preview by DN_Medium_300_yolov8m_20t7_new knife Detection preview by Segmentatation_v8_medium_train_250 knife Detection preview by Segmentation_V11_large_300_train_300 knife Detection preview by Segmentation_v8_large_300_train_300
Original Image: P00385.jpg
GT: gun, knife
gun, knife Detection preview by Box_v11_medium_train_SIXray_OPIXray gun Detection preview by DN_Medium_300_yolov8m_20t7_new gun, knife Detection preview by Segmentatation_v8_medium_train_250 gun, knife Detection preview by Segmentation_V11_large_300_train_300 gun, knife Detection preview by Segmentation_v8_large_300_train_300
Original Image: P00386.jpg
GT: gun, knife
gun, knife Detection preview by Box_v11_medium_train_SIXray_OPIXray No objects detected Detection preview by DN_Medium_300_yolov8m_20t7_new gun, knife Detection preview by Segmentatation_v8_medium_train_250 gun, knife Detection preview by Segmentation_V11_large_300_train_300 gun, knife Detection preview by Segmentation_v8_large_300_train_300
Original Image: P00387.jpg
GT: gun, knife
gun, knife Detection preview by Box_v11_medium_train_SIXray_OPIXray gun Detection preview by DN_Medium_300_yolov8m_20t7_new gun, knife Detection preview by Segmentatation_v8_medium_train_250 gun, knife Detection preview by Segmentation_V11_large_300_train_300 gun, knife Detection preview by Segmentation_v8_large_300_train_300
Original Image: P00388.jpg
GT: gun, knife
gun, knife Detection preview by Box_v11_medium_train_SIXray_OPIXray No objects detected Detection preview by DN_Medium_300_yolov8m_20t7_new gun, knife Detection preview by Segmentatation_v8_medium_train_250 gun, knife Detection preview by Segmentation_V11_large_300_train_300 gun, knife Detection preview by Segmentation_v8_large_300_train_300
Original Image: P00389.jpg
GT: gun, knife
gun, knife Detection preview by Box_v11_medium_train_SIXray_OPIXray gun Detection preview by DN_Medium_300_yolov8m_20t7_new gun, knife Detection preview by Segmentatation_v8_medium_train_250 gun, knife Detection preview by Segmentation_V11_large_300_train_300 gun, knife Detection preview by Segmentation_v8_large_300_train_300
Original Image: P00390.jpg
GT: gun, knife
gun, knife Detection preview by Box_v11_medium_train_SIXray_OPIXray No objects detected Detection preview by DN_Medium_300_yolov8m_20t7_new gun, knife Detection preview by Segmentatation_v8_medium_train_250 gun, knife Detection preview by Segmentation_V11_large_300_train_300 gun, knife Detection preview by Segmentation_v8_large_300_train_300
Original Image: P00391.jpg
GT: gun, knife
gun, knife Detection preview by Box_v11_medium_train_SIXray_OPIXray gun Detection preview by DN_Medium_300_yolov8m_20t7_new gun, knife Detection preview by Segmentatation_v8_medium_train_250 gun, knife Detection preview by Segmentation_V11_large_300_train_300 gun, knife Detection preview by Segmentation_v8_large_300_train_300
Original Image: P00392.jpg
GT: gun, knife
gun, knife Detection preview by Box_v11_medium_train_SIXray_OPIXray No objects detected Detection preview by DN_Medium_300_yolov8m_20t7_new gun, knife Detection preview by Segmentatation_v8_medium_train_250 gun, knife Detection preview by Segmentation_V11_large_300_train_300 gun, knife Detection preview by Segmentation_v8_large_300_train_300
Original Image: P00393.jpg
GT: gun, knife
gun, knife Detection preview by Box_v11_medium_train_SIXray_OPIXray No objects detected Detection preview by DN_Medium_300_yolov8m_20t7_new gun, knife Detection preview by Segmentatation_v8_medium_train_250 gun, knife Detection preview by Segmentation_V11_large_300_train_300 gun, knife Detection preview by Segmentation_v8_large_300_train_300
Original Image: P00394.jpg
GT: gun, knife
gun, knife Detection preview by Box_v11_medium_train_SIXray_OPIXray No objects detected Detection preview by DN_Medium_300_yolov8m_20t7_new gun, knife Detection preview by Segmentatation_v8_medium_train_250 gun, knife Detection preview by Segmentation_V11_large_300_train_300 gun, knife Detection preview by Segmentation_v8_large_300_train_300
Original Image: P00395.jpg
GT: gun, knife
gun, knife Detection preview by Box_v11_medium_train_SIXray_OPIXray gun Detection preview by DN_Medium_300_yolov8m_20t7_new gun, knife Detection preview by Segmentatation_v8_medium_train_250 gun, knife Detection preview by Segmentation_V11_large_300_train_300 gun, knife Detection preview by Segmentation_v8_large_300_train_300
Original Image: P00396.jpg
GT: knife
knife Detection preview by Box_v11_medium_train_SIXray_OPIXray No objects detected Detection preview by DN_Medium_300_yolov8m_20t7_new knife Detection preview by Segmentatation_v8_medium_train_250 knife Detection preview by Segmentation_V11_large_300_train_300 knife Detection preview by Segmentation_v8_large_300_train_300
Original Image: P00397.jpg
GT: gun, knife
gun, knife Detection preview by Box_v11_medium_train_SIXray_OPIXray gun, knife Detection preview by DN_Medium_300_yolov8m_20t7_new gun, knife Detection preview by Segmentatation_v8_medium_train_250 gun, knife Detection preview by Segmentation_V11_large_300_train_300 gun, knife Detection preview by Segmentation_v8_large_300_train_300
Original Image: P00398.jpg
GT: gun, knife
gun, knife Detection preview by Box_v11_medium_train_SIXray_OPIXray No objects detected Detection preview by DN_Medium_300_yolov8m_20t7_new gun, knife Detection preview by Segmentatation_v8_medium_train_250 gun, knife Detection preview by Segmentation_V11_large_300_train_300 gun, knife Detection preview by Segmentation_v8_large_300_train_300
Original Image: P00399.jpg
GT: gun, knife
gun, knife Detection preview by Box_v11_medium_train_SIXray_OPIXray No objects detected Detection preview by DN_Medium_300_yolov8m_20t7_new gun, knife Detection preview by Segmentatation_v8_medium_train_250 gun, knife Detection preview by Segmentation_V11_large_300_train_300 gun, knife Detection preview by Segmentation_v8_large_300_train_300
Original Image: P00400.jpg
GT: gun, knife
gun, knife Detection preview by Box_v11_medium_train_SIXray_OPIXray No objects detected Detection preview by DN_Medium_300_yolov8m_20t7_new gun, knife Detection preview by Segmentatation_v8_medium_train_250 gun, knife Detection preview by Segmentation_V11_large_300_train_300 gun, knife Detection preview by Segmentation_v8_large_300_train_300
Original Image: P00401.jpg
GT: gun, knife
gun, knife Detection preview by Box_v11_medium_train_SIXray_OPIXray No objects detected Detection preview by DN_Medium_300_yolov8m_20t7_new gun, knife Detection preview by Segmentatation_v8_medium_train_250 gun, knife Detection preview by Segmentation_V11_large_300_train_300 gun, knife Detection preview by Segmentation_v8_large_300_train_300
Original Image: P00402.jpg
GT: gun, knife
gun, knife Detection preview by Box_v11_medium_train_SIXray_OPIXray gun Detection preview by DN_Medium_300_yolov8m_20t7_new gun, knife Detection preview by Segmentatation_v8_medium_train_250 gun, knife Detection preview by Segmentation_V11_large_300_train_300 gun, knife Detection preview by Segmentation_v8_large_300_train_300
Original Image: P00403.jpg
GT: gun, knife
gun, knife Detection preview by Box_v11_medium_train_SIXray_OPIXray gun Detection preview by DN_Medium_300_yolov8m_20t7_new gun, knife Detection preview by Segmentatation_v8_medium_train_250 gun, knife Detection preview by Segmentation_V11_large_300_train_300 gun, knife Detection preview by Segmentation_v8_large_300_train_300
Original Image: P00404.jpg
GT: gun, knife
gun, knife Detection preview by Box_v11_medium_train_SIXray_OPIXray No objects detected Detection preview by DN_Medium_300_yolov8m_20t7_new gun, knife Detection preview by Segmentatation_v8_medium_train_250 gun, knife Detection preview by Segmentation_V11_large_300_train_300 gun, knife Detection preview by Segmentation_v8_large_300_train_300
Original Image: P00405.jpg
GT: knife
knife Detection preview by Box_v11_medium_train_SIXray_OPIXray No objects detected Detection preview by DN_Medium_300_yolov8m_20t7_new knife Detection preview by Segmentatation_v8_medium_train_250 knife Detection preview by Segmentation_V11_large_300_train_300 knife Detection preview by Segmentation_v8_large_300_train_300
Original Image: P00406.jpg
GT: gun, knife
gun, knife Detection preview by Box_v11_medium_train_SIXray_OPIXray gun Detection preview by DN_Medium_300_yolov8m_20t7_new gun, knife Detection preview by Segmentatation_v8_medium_train_250 gun, knife Detection preview by Segmentation_V11_large_300_train_300 gun, knife Detection preview by Segmentation_v8_large_300_train_300
Original Image: P00407.jpg
GT: gun, knife
gun, knife Detection preview by Box_v11_medium_train_SIXray_OPIXray gun Detection preview by DN_Medium_300_yolov8m_20t7_new gun, knife Detection preview by Segmentatation_v8_medium_train_250 gun, knife Detection preview by Segmentation_V11_large_300_train_300 gun, knife Detection preview by Segmentation_v8_large_300_train_300
Original Image: P00408.jpg
GT: knife
knife Detection preview by Box_v11_medium_train_SIXray_OPIXray No objects detected Detection preview by DN_Medium_300_yolov8m_20t7_new knife Detection preview by Segmentatation_v8_medium_train_250 knife Detection preview by Segmentation_V11_large_300_train_300 knife Detection preview by Segmentation_v8_large_300_train_300
Original Image: P00409.jpg
GT: gun, knife
gun, knife Detection preview by Box_v11_medium_train_SIXray_OPIXray No objects detected Detection preview by DN_Medium_300_yolov8m_20t7_new gun, knife Detection preview by Segmentatation_v8_medium_train_250 gun, knife Detection preview by Segmentation_V11_large_300_train_300 gun, knife Detection preview by Segmentation_v8_large_300_train_300
Original Image: P00410.jpg
GT: gun, knife
gun, knife Detection preview by Box_v11_medium_train_SIXray_OPIXray gun Detection preview by DN_Medium_300_yolov8m_20t7_new gun, knife Detection preview by Segmentatation_v8_medium_train_250 gun, knife Detection preview by Segmentation_V11_large_300_train_300 gun, knife Detection preview by Segmentation_v8_large_300_train_300
Original Image: P00411.jpg
GT: gun, knife
gun, knife Detection preview by Box_v11_medium_train_SIXray_OPIXray gun Detection preview by DN_Medium_300_yolov8m_20t7_new gun, knife Detection preview by Segmentatation_v8_medium_train_250 gun, knife Detection preview by Segmentation_V11_large_300_train_300 gun, knife Detection preview by Segmentation_v8_large_300_train_300
Original Image: P00412.jpg
GT: gun, knife
gun, knife Detection preview by Box_v11_medium_train_SIXray_OPIXray gun Detection preview by DN_Medium_300_yolov8m_20t7_new gun, knife Detection preview by Segmentatation_v8_medium_train_250 gun, knife Detection preview by Segmentation_V11_large_300_train_300 gun, knife Detection preview by Segmentation_v8_large_300_train_300
Original Image: P00413.jpg
GT: gun, knife
gun, knife Detection preview by Box_v11_medium_train_SIXray_OPIXray gun Detection preview by DN_Medium_300_yolov8m_20t7_new gun, knife Detection preview by Segmentatation_v8_medium_train_250 gun, knife Detection preview by Segmentation_V11_large_300_train_300 gun, knife Detection preview by Segmentation_v8_large_300_train_300
Original Image: P00414.jpg
GT: gun, knife
gun, knife Detection preview by Box_v11_medium_train_SIXray_OPIXray gun Detection preview by DN_Medium_300_yolov8m_20t7_new gun, knife Detection preview by Segmentatation_v8_medium_train_250 gun, knife Detection preview by Segmentation_V11_large_300_train_300 gun, knife Detection preview by Segmentation_v8_large_300_train_300
Original Image: P00415.jpg
GT: gun, knife
gun, knife Detection preview by Box_v11_medium_train_SIXray_OPIXray gun Detection preview by DN_Medium_300_yolov8m_20t7_new gun, knife Detection preview by Segmentatation_v8_medium_train_250 gun, knife Detection preview by Segmentation_V11_large_300_train_300 gun, knife Detection preview by Segmentation_v8_large_300_train_300
Original Image: P00416.jpg
GT: gun, knife
gun, knife Detection preview by Box_v11_medium_train_SIXray_OPIXray gun Detection preview by DN_Medium_300_yolov8m_20t7_new gun, knife Detection preview by Segmentatation_v8_medium_train_250 gun, knife Detection preview by Segmentation_V11_large_300_train_300 gun, knife Detection preview by Segmentation_v8_large_300_train_300
Original Image: P00417.jpg
GT: gun, knife
gun, knife Detection preview by Box_v11_medium_train_SIXray_OPIXray No objects detected Detection preview by DN_Medium_300_yolov8m_20t7_new gun, knife Detection preview by Segmentatation_v8_medium_train_250 gun, knife Detection preview by Segmentation_V11_large_300_train_300 gun, knife Detection preview by Segmentation_v8_large_300_train_300
Original Image: P00418.jpg
GT: gun, knife
gun, knife Detection preview by Box_v11_medium_train_SIXray_OPIXray No objects detected Detection preview by DN_Medium_300_yolov8m_20t7_new gun, knife Detection preview by Segmentatation_v8_medium_train_250 gun, knife Detection preview by Segmentation_V11_large_300_train_300 gun, knife Detection preview by Segmentation_v8_large_300_train_300
Original Image: P00419.jpg
GT: gun, knife
gun, knife Detection preview by Box_v11_medium_train_SIXray_OPIXray No objects detected Detection preview by DN_Medium_300_yolov8m_20t7_new gun, knife Detection preview by Segmentatation_v8_medium_train_250 gun, knife Detection preview by Segmentation_V11_large_300_train_300 gun, knife Detection preview by Segmentation_v8_large_300_train_300
Original Image: P00420.jpg
GT: knife
knife Detection preview by Box_v11_medium_train_SIXray_OPIXray No objects detected Detection preview by DN_Medium_300_yolov8m_20t7_new knife Detection preview by Segmentatation_v8_medium_train_250 knife Detection preview by Segmentation_V11_large_300_train_300 knife Detection preview by Segmentation_v8_large_300_train_300
Original Image: P00421.jpg
GT: gun, knife
gun, knife Detection preview by Box_v11_medium_train_SIXray_OPIXray gun Detection preview by DN_Medium_300_yolov8m_20t7_new gun, knife Detection preview by Segmentatation_v8_medium_train_250 gun, knife Detection preview by Segmentation_V11_large_300_train_300 gun, knife Detection preview by Segmentation_v8_large_300_train_300
Original Image: P00422.jpg
GT: gun, knife
gun, knife Detection preview by Box_v11_medium_train_SIXray_OPIXray gun Detection preview by DN_Medium_300_yolov8m_20t7_new gun, knife Detection preview by Segmentatation_v8_medium_train_250 gun, knife Detection preview by Segmentation_V11_large_300_train_300 gun, knife Detection preview by Segmentation_v8_large_300_train_300
Original Image: P00423.jpg
GT: knife
knife Detection preview by Box_v11_medium_train_SIXray_OPIXray No objects detected Detection preview by DN_Medium_300_yolov8m_20t7_new knife Detection preview by Segmentatation_v8_medium_train_250 knife Detection preview by Segmentation_V11_large_300_train_300 knife Detection preview by Segmentation_v8_large_300_train_300
Original Image: P00424.jpg
GT: gun, knife
gun, knife Detection preview by Box_v11_medium_train_SIXray_OPIXray gun Detection preview by DN_Medium_300_yolov8m_20t7_new gun, knife Detection preview by Segmentatation_v8_medium_train_250 gun, knife Detection preview by Segmentation_V11_large_300_train_300 gun, knife Detection preview by Segmentation_v8_large_300_train_300
Original Image: P00425.jpg
GT: gun, knife
gun, knife Detection preview by Box_v11_medium_train_SIXray_OPIXray gun Detection preview by DN_Medium_300_yolov8m_20t7_new gun, knife Detection preview by Segmentatation_v8_medium_train_250 gun, knife Detection preview by Segmentation_V11_large_300_train_300 gun, knife Detection preview by Segmentation_v8_large_300_train_300
Original Image: P00426.jpg
GT: gun, knife
gun, knife Detection preview by Box_v11_medium_train_SIXray_OPIXray gun Detection preview by DN_Medium_300_yolov8m_20t7_new gun, knife Detection preview by Segmentatation_v8_medium_train_250 gun, knife Detection preview by Segmentation_V11_large_300_train_300 gun, knife Detection preview by Segmentation_v8_large_300_train_300
Original Image: P00427.jpg
GT: gun, knife
gun, knife Detection preview by Box_v11_medium_train_SIXray_OPIXray gun Detection preview by DN_Medium_300_yolov8m_20t7_new gun, knife Detection preview by Segmentatation_v8_medium_train_250 gun, knife Detection preview by Segmentation_V11_large_300_train_300 gun, knife Detection preview by Segmentation_v8_large_300_train_300
Original Image: P00428.jpg
GT: gun, knife
gun, knife Detection preview by Box_v11_medium_train_SIXray_OPIXray No objects detected Detection preview by DN_Medium_300_yolov8m_20t7_new gun, knife Detection preview by Segmentatation_v8_medium_train_250 gun, knife Detection preview by Segmentation_V11_large_300_train_300 gun, knife Detection preview by Segmentation_v8_large_300_train_300
Original Image: P00429.jpg
GT: knife
knife Detection preview by Box_v11_medium_train_SIXray_OPIXray No objects detected Detection preview by DN_Medium_300_yolov8m_20t7_new knife Detection preview by Segmentatation_v8_medium_train_250 knife Detection preview by Segmentation_V11_large_300_train_300 knife Detection preview by Segmentation_v8_large_300_train_300
Original Image: P00430.jpg
GT: gun, knife
gun, knife Detection preview by Box_v11_medium_train_SIXray_OPIXray gun Detection preview by DN_Medium_300_yolov8m_20t7_new gun, knife Detection preview by Segmentatation_v8_medium_train_250 gun, knife Detection preview by Segmentation_V11_large_300_train_300 gun, knife Detection preview by Segmentation_v8_large_300_train_300
Original Image: P00431.jpg
GT: gun, knife
gun, knife Detection preview by Box_v11_medium_train_SIXray_OPIXray gun Detection preview by DN_Medium_300_yolov8m_20t7_new gun, knife Detection preview by Segmentatation_v8_medium_train_250 gun, knife Detection preview by Segmentation_V11_large_300_train_300 gun, knife Detection preview by Segmentation_v8_large_300_train_300
Original Image: P00432.jpg
GT: gun, knife
gun, knife Detection preview by Box_v11_medium_train_SIXray_OPIXray No objects detected Detection preview by DN_Medium_300_yolov8m_20t7_new gun, knife Detection preview by Segmentatation_v8_medium_train_250 gun, knife Detection preview by Segmentation_V11_large_300_train_300 gun, knife Detection preview by Segmentation_v8_large_300_train_300
Original Image: P00433.jpg
GT: gun, knife
gun, knife Detection preview by Box_v11_medium_train_SIXray_OPIXray No objects detected Detection preview by DN_Medium_300_yolov8m_20t7_new gun, knife Detection preview by Segmentatation_v8_medium_train_250 gun, knife Detection preview by Segmentation_V11_large_300_train_300 gun, knife Detection preview by Segmentation_v8_large_300_train_300
Original Image: P00434.jpg
GT: gun, knife
gun, knife Detection preview by Box_v11_medium_train_SIXray_OPIXray No objects detected Detection preview by DN_Medium_300_yolov8m_20t7_new gun, knife Detection preview by Segmentatation_v8_medium_train_250 gun, knife Detection preview by Segmentation_V11_large_300_train_300 gun, knife Detection preview by Segmentation_v8_large_300_train_300
Original Image: P00435.jpg
GT: gun, knife
gun, knife Detection preview by Box_v11_medium_train_SIXray_OPIXray gun, knife Detection preview by DN_Medium_300_yolov8m_20t7_new gun, knife Detection preview by Segmentatation_v8_medium_train_250 gun, knife Detection preview by Segmentation_V11_large_300_train_300 gun, knife Detection preview by Segmentation_v8_large_300_train_300
Original Image: P00436.jpg
GT: gun, knife
gun, knife Detection preview by Box_v11_medium_train_SIXray_OPIXray gun Detection preview by DN_Medium_300_yolov8m_20t7_new gun, knife Detection preview by Segmentatation_v8_medium_train_250 gun, knife Detection preview by Segmentation_V11_large_300_train_300 gun, knife Detection preview by Segmentation_v8_large_300_train_300
Original Image: P00437.jpg
GT: gun, knife
gun, knife Detection preview by Box_v11_medium_train_SIXray_OPIXray No objects detected Detection preview by DN_Medium_300_yolov8m_20t7_new gun, knife Detection preview by Segmentatation_v8_medium_train_250 gun, knife Detection preview by Segmentation_V11_large_300_train_300 gun, knife Detection preview by Segmentation_v8_large_300_train_300
Original Image: P00438.jpg
GT: gun, knife
gun, knife Detection preview by Box_v11_medium_train_SIXray_OPIXray No objects detected Detection preview by DN_Medium_300_yolov8m_20t7_new gun, knife Detection preview by Segmentatation_v8_medium_train_250 gun, knife Detection preview by Segmentation_V11_large_300_train_300 gun, knife Detection preview by Segmentation_v8_large_300_train_300
Original Image: P00439.jpg
GT: gun, knife
gun, knife Detection preview by Box_v11_medium_train_SIXray_OPIXray gun Detection preview by DN_Medium_300_yolov8m_20t7_new gun, knife Detection preview by Segmentatation_v8_medium_train_250 gun, knife Detection preview by Segmentation_V11_large_300_train_300 gun, knife Detection preview by Segmentation_v8_large_300_train_300
Original Image: P00440.jpg
GT: gun, knife
gun, knife Detection preview by Box_v11_medium_train_SIXray_OPIXray gun Detection preview by DN_Medium_300_yolov8m_20t7_new gun, knife Detection preview by Segmentatation_v8_medium_train_250 gun, knife Detection preview by Segmentation_V11_large_300_train_300 gun, knife Detection preview by Segmentation_v8_large_300_train_300
Original Image: P00441.jpg
GT: gun, knife
gun, knife Detection preview by Box_v11_medium_train_SIXray_OPIXray gun Detection preview by DN_Medium_300_yolov8m_20t7_new gun, knife Detection preview by Segmentatation_v8_medium_train_250 gun, knife Detection preview by Segmentation_V11_large_300_train_300 gun, knife Detection preview by Segmentation_v8_large_300_train_300
Original Image: P00442.jpg
GT: gun, knife
gun, knife Detection preview by Box_v11_medium_train_SIXray_OPIXray No objects detected Detection preview by DN_Medium_300_yolov8m_20t7_new gun, knife Detection preview by Segmentatation_v8_medium_train_250 gun, knife Detection preview by Segmentation_V11_large_300_train_300 gun, knife Detection preview by Segmentation_v8_large_300_train_300
Original Image: P00443.jpg
GT: gun, knife
gun, knife Detection preview by Box_v11_medium_train_SIXray_OPIXray gun Detection preview by DN_Medium_300_yolov8m_20t7_new gun, knife Detection preview by Segmentatation_v8_medium_train_250 gun, knife Detection preview by Segmentation_V11_large_300_train_300 gun, knife Detection preview by Segmentation_v8_large_300_train_300
Original Image: P00444.jpg
GT: gun, knife
gun, knife Detection preview by Box_v11_medium_train_SIXray_OPIXray No objects detected Detection preview by DN_Medium_300_yolov8m_20t7_new gun, knife Detection preview by Segmentatation_v8_medium_train_250 gun, knife Detection preview by Segmentation_V11_large_300_train_300 gun, knife Detection preview by Segmentation_v8_large_300_train_300
Original Image: P00445.jpg
GT: gun, knife
gun, knife Detection preview by Box_v11_medium_train_SIXray_OPIXray No objects detected Detection preview by DN_Medium_300_yolov8m_20t7_new gun, knife Detection preview by Segmentatation_v8_medium_train_250 gun, knife Detection preview by Segmentation_V11_large_300_train_300 gun, knife Detection preview by Segmentation_v8_large_300_train_300
Original Image: P00446.jpg
GT: gun, knife
gun, knife Detection preview by Box_v11_medium_train_SIXray_OPIXray gun Detection preview by DN_Medium_300_yolov8m_20t7_new gun, knife Detection preview by Segmentatation_v8_medium_train_250 gun, knife Detection preview by Segmentation_V11_large_300_train_300 gun, knife Detection preview by Segmentation_v8_large_300_train_300
Original Image: P00447.jpg
GT: gun, knife
gun, knife Detection preview by Box_v11_medium_train_SIXray_OPIXray No objects detected Detection preview by DN_Medium_300_yolov8m_20t7_new gun, knife Detection preview by Segmentatation_v8_medium_train_250 gun, knife Detection preview by Segmentation_V11_large_300_train_300 gun, knife Detection preview by Segmentation_v8_large_300_train_300
Original Image: P00448.jpg
GT: gun, knife
gun, knife Detection preview by Box_v11_medium_train_SIXray_OPIXray No objects detected Detection preview by DN_Medium_300_yolov8m_20t7_new gun, knife Detection preview by Segmentatation_v8_medium_train_250 gun, knife Detection preview by Segmentation_V11_large_300_train_300 gun, knife Detection preview by Segmentation_v8_large_300_train_300
Original Image: P00449.jpg
GT: gun, knife
gun, knife Detection preview by Box_v11_medium_train_SIXray_OPIXray No objects detected Detection preview by DN_Medium_300_yolov8m_20t7_new gun, knife Detection preview by Segmentatation_v8_medium_train_250 gun, knife Detection preview by Segmentation_V11_large_300_train_300 gun, knife Detection preview by Segmentation_v8_large_300_train_300
Original Image: P00450.jpg
GT: gun, knife
gun, knife Detection preview by Box_v11_medium_train_SIXray_OPIXray No objects detected Detection preview by DN_Medium_300_yolov8m_20t7_new gun, knife Detection preview by Segmentatation_v8_medium_train_250 gun, knife Detection preview by Segmentation_V11_large_300_train_300 gun, knife Detection preview by Segmentation_v8_large_300_train_300
Original Image: P00451.jpg
GT: gun, knife, wrench
gun, knife, wrench Detection preview by Box_v11_medium_train_SIXray_OPIXray No objects detected Detection preview by DN_Medium_300_yolov8m_20t7_new gun, knife, wrench Detection preview by Segmentatation_v8_medium_train_250 gun, knife, wrench Detection preview by Segmentation_V11_large_300_train_300 gun, knife, wrench Detection preview by Segmentation_v8_large_300_train_300
Original Image: P00452.jpg
GT: gun, knife, wrench
gun, knife, wrench Detection preview by Box_v11_medium_train_SIXray_OPIXray No objects detected Detection preview by DN_Medium_300_yolov8m_20t7_new gun, knife, wrench Detection preview by Segmentatation_v8_medium_train_250 gun, knife, wrench Detection preview by Segmentation_V11_large_300_train_300 gun, knife, wrench Detection preview by Segmentation_v8_large_300_train_300
Original Image: P00453.jpg
GT: gun, knife, wrench
gun, knife, wrench Detection preview by Box_v11_medium_train_SIXray_OPIXray No objects detected Detection preview by DN_Medium_300_yolov8m_20t7_new gun, knife, wrench Detection preview by Segmentatation_v8_medium_train_250 gun, knife, wrench Detection preview by Segmentation_V11_large_300_train_300 gun, knife, wrench Detection preview by Segmentation_v8_large_300_train_300
Original Image: P00454.jpg
GT: gun, knife, wrench
gun, knife, wrench Detection preview by Box_v11_medium_train_SIXray_OPIXray No objects detected Detection preview by DN_Medium_300_yolov8m_20t7_new gun, knife, wrench Detection preview by Segmentatation_v8_medium_train_250 gun, knife, wrench Detection preview by Segmentation_V11_large_300_train_300 gun, knife, wrench Detection preview by Segmentation_v8_large_300_train_300
Original Image: P00455.jpg
GT: gun, knife, wrench
gun, knife, wrench Detection preview by Box_v11_medium_train_SIXray_OPIXray No objects detected Detection preview by DN_Medium_300_yolov8m_20t7_new gun, knife, wrench Detection preview by Segmentatation_v8_medium_train_250 gun, knife, wrench Detection preview by Segmentation_V11_large_300_train_300 gun, knife, wrench Detection preview by Segmentation_v8_large_300_train_300
Original Image: P00456.jpg
GT: gun, knife, wrench
gun, knife, wrench Detection preview by Box_v11_medium_train_SIXray_OPIXray No objects detected Detection preview by DN_Medium_300_yolov8m_20t7_new gun, knife, wrench Detection preview by Segmentatation_v8_medium_train_250 gun, knife, wrench Detection preview by Segmentation_V11_large_300_train_300 gun, knife, wrench Detection preview by Segmentation_v8_large_300_train_300
Original Image: P00457.jpg
GT: gun, knife, wrench
gun, knife, wrench Detection preview by Box_v11_medium_train_SIXray_OPIXray No objects detected Detection preview by DN_Medium_300_yolov8m_20t7_new gun, knife, wrench Detection preview by Segmentatation_v8_medium_train_250 gun, knife, wrench Detection preview by Segmentation_V11_large_300_train_300 gun, knife, wrench Detection preview by Segmentation_v8_large_300_train_300
Original Image: P00458.jpg
GT: gun, knife, wrench
gun, knife, wrench Detection preview by Box_v11_medium_train_SIXray_OPIXray pliers Detection preview by DN_Medium_300_yolov8m_20t7_new gun, knife, wrench Detection preview by Segmentatation_v8_medium_train_250 gun, knife, wrench Detection preview by Segmentation_V11_large_300_train_300 gun, knife, wrench Detection preview by Segmentation_v8_large_300_train_300
Original Image: P00459.jpg
GT: knife
knife Detection preview by Box_v11_medium_train_SIXray_OPIXray No objects detected Detection preview by DN_Medium_300_yolov8m_20t7_new knife Detection preview by Segmentatation_v8_medium_train_250 knife Detection preview by Segmentation_V11_large_300_train_300 knife Detection preview by Segmentation_v8_large_300_train_300
Original Image: P00460.jpg
GT: knife
knife Detection preview by Box_v11_medium_train_SIXray_OPIXray No objects detected Detection preview by DN_Medium_300_yolov8m_20t7_new knife Detection preview by Segmentatation_v8_medium_train_250 knife Detection preview by Segmentation_V11_large_300_train_300 knife Detection preview by Segmentation_v8_large_300_train_300
Original Image: P00461.jpg
GT: gun, knife, wrench
gun, knife, wrench Detection preview by Box_v11_medium_train_SIXray_OPIXray No objects detected Detection preview by DN_Medium_300_yolov8m_20t7_new gun, knife, wrench Detection preview by Segmentatation_v8_medium_train_250 gun, knife, wrench Detection preview by Segmentation_V11_large_300_train_300 gun, knife, wrench Detection preview by Segmentation_v8_large_300_train_300
Original Image: P00462.jpg
GT: knife
knife Detection preview by Box_v11_medium_train_SIXray_OPIXray No objects detected Detection preview by DN_Medium_300_yolov8m_20t7_new knife Detection preview by Segmentatation_v8_medium_train_250 knife Detection preview by Segmentation_V11_large_300_train_300 knife Detection preview by Segmentation_v8_large_300_train_300
Original Image: P00463.jpg
GT: knife
knife Detection preview by Box_v11_medium_train_SIXray_OPIXray No objects detected Detection preview by DN_Medium_300_yolov8m_20t7_new knife Detection preview by Segmentatation_v8_medium_train_250 knife Detection preview by Segmentation_V11_large_300_train_300 knife Detection preview by Segmentation_v8_large_300_train_300
Original Image: P00464.jpg
GT: knife
knife Detection preview by Box_v11_medium_train_SIXray_OPIXray No objects detected Detection preview by DN_Medium_300_yolov8m_20t7_new knife Detection preview by Segmentatation_v8_medium_train_250 knife Detection preview by Segmentation_V11_large_300_train_300 knife Detection preview by Segmentation_v8_large_300_train_300
Original Image: P00465.jpg
GT: knife
knife Detection preview by Box_v11_medium_train_SIXray_OPIXray No objects detected Detection preview by DN_Medium_300_yolov8m_20t7_new knife Detection preview by Segmentatation_v8_medium_train_250 knife Detection preview by Segmentation_V11_large_300_train_300 knife Detection preview by Segmentation_v8_large_300_train_300
Original Image: P00466.jpg
GT: knife
knife Detection preview by Box_v11_medium_train_SIXray_OPIXray No objects detected Detection preview by DN_Medium_300_yolov8m_20t7_new knife Detection preview by Segmentatation_v8_medium_train_250 knife Detection preview by Segmentation_V11_large_300_train_300 knife Detection preview by Segmentation_v8_large_300_train_300
Original Image: P00467.jpg
GT: knife
knife Detection preview by Box_v11_medium_train_SIXray_OPIXray No objects detected Detection preview by DN_Medium_300_yolov8m_20t7_new knife Detection preview by Segmentatation_v8_medium_train_250 knife Detection preview by Segmentation_V11_large_300_train_300 knife Detection preview by Segmentation_v8_large_300_train_300
Original Image: P00468.jpg
GT: knife
knife Detection preview by Box_v11_medium_train_SIXray_OPIXray No objects detected Detection preview by DN_Medium_300_yolov8m_20t7_new knife Detection preview by Segmentatation_v8_medium_train_250 knife Detection preview by Segmentation_V11_large_300_train_300 knife Detection preview by Segmentation_v8_large_300_train_300
Original Image: P00469.jpg
GT: knife
knife Detection preview by Box_v11_medium_train_SIXray_OPIXray No objects detected Detection preview by DN_Medium_300_yolov8m_20t7_new knife Detection preview by Segmentatation_v8_medium_train_250 knife Detection preview by Segmentation_V11_large_300_train_300 knife Detection preview by Segmentation_v8_large_300_train_300
Original Image: P00470.jpg
GT: knife
knife Detection preview by Box_v11_medium_train_SIXray_OPIXray No objects detected Detection preview by DN_Medium_300_yolov8m_20t7_new knife Detection preview by Segmentatation_v8_medium_train_250 knife Detection preview by Segmentation_V11_large_300_train_300 knife Detection preview by Segmentation_v8_large_300_train_300
Original Image: P00471.jpg
GT: knife
knife Detection preview by Box_v11_medium_train_SIXray_OPIXray No objects detected Detection preview by DN_Medium_300_yolov8m_20t7_new knife Detection preview by Segmentatation_v8_medium_train_250 knife Detection preview by Segmentation_V11_large_300_train_300 knife Detection preview by Segmentation_v8_large_300_train_300
Original Image: P00472.jpg
GT: knife
knife Detection preview by Box_v11_medium_train_SIXray_OPIXray No objects detected Detection preview by DN_Medium_300_yolov8m_20t7_new knife Detection preview by Segmentatation_v8_medium_train_250 knife Detection preview by Segmentation_V11_large_300_train_300 knife Detection preview by Segmentation_v8_large_300_train_300
Original Image: P00473.jpg
GT: knife
knife Detection preview by Box_v11_medium_train_SIXray_OPIXray No objects detected Detection preview by DN_Medium_300_yolov8m_20t7_new knife Detection preview by Segmentatation_v8_medium_train_250 knife Detection preview by Segmentation_V11_large_300_train_300 knife Detection preview by Segmentation_v8_large_300_train_300
Original Image: P00474.jpg
GT: knife
knife Detection preview by Box_v11_medium_train_SIXray_OPIXray No objects detected Detection preview by DN_Medium_300_yolov8m_20t7_new knife Detection preview by Segmentatation_v8_medium_train_250 knife Detection preview by Segmentation_V11_large_300_train_300 knife Detection preview by Segmentation_v8_large_300_train_300
Original Image: P00475.jpg
GT: knife
knife Detection preview by Box_v11_medium_train_SIXray_OPIXray No objects detected Detection preview by DN_Medium_300_yolov8m_20t7_new knife Detection preview by Segmentatation_v8_medium_train_250 knife Detection preview by Segmentation_V11_large_300_train_300 knife Detection preview by Segmentation_v8_large_300_train_300
Original Image: P00476.jpg
GT: knife
knife Detection preview by Box_v11_medium_train_SIXray_OPIXray No objects detected Detection preview by DN_Medium_300_yolov8m_20t7_new knife Detection preview by Segmentatation_v8_medium_train_250 knife Detection preview by Segmentation_V11_large_300_train_300 knife Detection preview by Segmentation_v8_large_300_train_300
Original Image: P00477.jpg
GT: knife
knife Detection preview by Box_v11_medium_train_SIXray_OPIXray No objects detected Detection preview by DN_Medium_300_yolov8m_20t7_new knife Detection preview by Segmentatation_v8_medium_train_250 knife Detection preview by Segmentation_V11_large_300_train_300 knife Detection preview by Segmentation_v8_large_300_train_300
Original Image: P00478.jpg
GT: knife
knife Detection preview by Box_v11_medium_train_SIXray_OPIXray No objects detected Detection preview by DN_Medium_300_yolov8m_20t7_new knife Detection preview by Segmentatation_v8_medium_train_250 knife Detection preview by Segmentation_V11_large_300_train_300 knife Detection preview by Segmentation_v8_large_300_train_300
Original Image: P00479.jpg
GT: knife
knife Detection preview by Box_v11_medium_train_SIXray_OPIXray No objects detected Detection preview by DN_Medium_300_yolov8m_20t7_new knife Detection preview by Segmentatation_v8_medium_train_250 knife Detection preview by Segmentation_V11_large_300_train_300 knife Detection preview by Segmentation_v8_large_300_train_300
Original Image: P00480.jpg
GT: knife
knife Detection preview by Box_v11_medium_train_SIXray_OPIXray No objects detected Detection preview by DN_Medium_300_yolov8m_20t7_new knife Detection preview by Segmentatation_v8_medium_train_250 knife Detection preview by Segmentation_V11_large_300_train_300 knife Detection preview by Segmentation_v8_large_300_train_300
Original Image: P00481.jpg
GT: knife
knife Detection preview by Box_v11_medium_train_SIXray_OPIXray No objects detected Detection preview by DN_Medium_300_yolov8m_20t7_new knife Detection preview by Segmentatation_v8_medium_train_250 knife Detection preview by Segmentation_V11_large_300_train_300 knife Detection preview by Segmentation_v8_large_300_train_300
Original Image: P00482.jpg
GT: knife
knife Detection preview by Box_v11_medium_train_SIXray_OPIXray No objects detected Detection preview by DN_Medium_300_yolov8m_20t7_new knife Detection preview by Segmentatation_v8_medium_train_250 knife Detection preview by Segmentation_V11_large_300_train_300 knife Detection preview by Segmentation_v8_large_300_train_300
Original Image: P00483.jpg
GT: knife, wrench
knife, wrench Detection preview by Box_v11_medium_train_SIXray_OPIXray No objects detected Detection preview by DN_Medium_300_yolov8m_20t7_new knife, wrench Detection preview by Segmentatation_v8_medium_train_250 knife, wrench Detection preview by Segmentation_V11_large_300_train_300 knife, wrench Detection preview by Segmentation_v8_large_300_train_300
Original Image: P00484.jpg
GT: knife, wrench
knife, wrench Detection preview by Box_v11_medium_train_SIXray_OPIXray No objects detected Detection preview by DN_Medium_300_yolov8m_20t7_new knife, wrench Detection preview by Segmentatation_v8_medium_train_250 knife, wrench Detection preview by Segmentation_V11_large_300_train_300 knife, wrench Detection preview by Segmentation_v8_large_300_train_300
Original Image: P00485.jpg
GT: knife, wrench
knife, wrench Detection preview by Box_v11_medium_train_SIXray_OPIXray No objects detected Detection preview by DN_Medium_300_yolov8m_20t7_new knife, wrench Detection preview by Segmentatation_v8_medium_train_250 knife, wrench Detection preview by Segmentation_V11_large_300_train_300 knife, wrench Detection preview by Segmentation_v8_large_300_train_300
Original Image: P00486.jpg
GT: gun, knife, wrench
gun, knife, wrench Detection preview by Box_v11_medium_train_SIXray_OPIXray No objects detected Detection preview by DN_Medium_300_yolov8m_20t7_new gun, knife, wrench Detection preview by Segmentatation_v8_medium_train_250 gun, knife, wrench Detection preview by Segmentation_V11_large_300_train_300 gun, knife, wrench Detection preview by Segmentation_v8_large_300_train_300
Original Image: P00487.jpg
GT: knife, wrench
knife, wrench Detection preview by Box_v11_medium_train_SIXray_OPIXray No objects detected Detection preview by DN_Medium_300_yolov8m_20t7_new knife, wrench Detection preview by Segmentatation_v8_medium_train_250 knife, wrench Detection preview by Segmentation_V11_large_300_train_300 knife, wrench Detection preview by Segmentation_v8_large_300_train_300
Original Image: P00488.jpg
GT: knife, wrench
knife, wrench Detection preview by Box_v11_medium_train_SIXray_OPIXray No objects detected Detection preview by DN_Medium_300_yolov8m_20t7_new gun, knife, wrench Detection preview by Segmentatation_v8_medium_train_250 gun, knife, wrench Detection preview by Segmentation_V11_large_300_train_300 gun, knife, wrench Detection preview by Segmentation_v8_large_300_train_300
Original Image: P00489.jpg
GT: knife, wrench
knife, wrench Detection preview by Box_v11_medium_train_SIXray_OPIXray No objects detected Detection preview by DN_Medium_300_yolov8m_20t7_new knife, wrench Detection preview by Segmentatation_v8_medium_train_250 knife, wrench Detection preview by Segmentation_V11_large_300_train_300 knife, wrench Detection preview by Segmentation_v8_large_300_train_300
Original Image: P00490.jpg
GT: knife
knife Detection preview by Box_v11_medium_train_SIXray_OPIXray No objects detected Detection preview by DN_Medium_300_yolov8m_20t7_new knife Detection preview by Segmentatation_v8_medium_train_250 knife Detection preview by Segmentation_V11_large_300_train_300 knife Detection preview by Segmentation_v8_large_300_train_300
Original Image: P00491.jpg
GT: knife, wrench
knife, wrench Detection preview by Box_v11_medium_train_SIXray_OPIXray No objects detected Detection preview by DN_Medium_300_yolov8m_20t7_new knife, wrench Detection preview by Segmentatation_v8_medium_train_250 knife, wrench Detection preview by Segmentation_V11_large_300_train_300 knife, wrench Detection preview by Segmentation_v8_large_300_train_300
Original Image: P00492.jpg
GT: gun, knife, wrench
gun, knife, wrench Detection preview by Box_v11_medium_train_SIXray_OPIXray No objects detected Detection preview by DN_Medium_300_yolov8m_20t7_new gun, knife, wrench Detection preview by Segmentatation_v8_medium_train_250 gun, knife, wrench Detection preview by Segmentation_V11_large_300_train_300 gun, knife, wrench Detection preview by Segmentation_v8_large_300_train_300
Original Image: P00493.jpg
GT: knife, wrench
knife, wrench Detection preview by Box_v11_medium_train_SIXray_OPIXray No objects detected Detection preview by DN_Medium_300_yolov8m_20t7_new knife, wrench Detection preview by Segmentatation_v8_medium_train_250 knife, wrench Detection preview by Segmentation_V11_large_300_train_300 knife, wrench Detection preview by Segmentation_v8_large_300_train_300
Original Image: P00494.jpg
GT: knife, wrench
knife, wrench Detection preview by Box_v11_medium_train_SIXray_OPIXray No objects detected Detection preview by DN_Medium_300_yolov8m_20t7_new knife, wrench Detection preview by Segmentatation_v8_medium_train_250 knife, wrench Detection preview by Segmentation_V11_large_300_train_300 knife, wrench Detection preview by Segmentation_v8_large_300_train_300
Original Image: P00495.jpg
GT: gun, knife, wrench
gun, knife, wrench Detection preview by Box_v11_medium_train_SIXray_OPIXray No objects detected Detection preview by DN_Medium_300_yolov8m_20t7_new gun, knife, wrench Detection preview by Segmentatation_v8_medium_train_250 gun, knife, wrench Detection preview by Segmentation_V11_large_300_train_300 gun, knife, wrench Detection preview by Segmentation_v8_large_300_train_300
Original Image: P00496.jpg
GT: knife, wrench
knife, wrench Detection preview by Box_v11_medium_train_SIXray_OPIXray No objects detected Detection preview by DN_Medium_300_yolov8m_20t7_new knife, wrench Detection preview by Segmentatation_v8_medium_train_250 knife, wrench Detection preview by Segmentation_V11_large_300_train_300 knife, wrench Detection preview by Segmentation_v8_large_300_train_300
Original Image: P00497.jpg
GT: gun, knife, wrench
gun, knife, wrench Detection preview by Box_v11_medium_train_SIXray_OPIXray No objects detected Detection preview by DN_Medium_300_yolov8m_20t7_new gun, knife, wrench Detection preview by Segmentatation_v8_medium_train_250 gun, knife, wrench Detection preview by Segmentation_V11_large_300_train_300 gun, knife, wrench Detection preview by Segmentation_v8_large_300_train_300
Original Image: P00498.jpg
GT: knife, wrench
knife, wrench Detection preview by Box_v11_medium_train_SIXray_OPIXray No objects detected Detection preview by DN_Medium_300_yolov8m_20t7_new knife, wrench Detection preview by Segmentatation_v8_medium_train_250 knife, wrench Detection preview by Segmentation_V11_large_300_train_300 knife, wrench Detection preview by Segmentation_v8_large_300_train_300
Original Image: P00499.jpg
GT: knife, wrench
knife, wrench Detection preview by Box_v11_medium_train_SIXray_OPIXray No objects detected Detection preview by DN_Medium_300_yolov8m_20t7_new knife, wrench Detection preview by Segmentatation_v8_medium_train_250 knife, wrench Detection preview by Segmentation_V11_large_300_train_300 knife, wrench Detection preview by Segmentation_v8_large_300_train_300
Original Image: P00500.jpg
GT: gun, knife, wrench
gun, knife, wrench Detection preview by Box_v11_medium_train_SIXray_OPIXray No objects detected Detection preview by DN_Medium_300_yolov8m_20t7_new gun, knife, wrench Detection preview by Segmentatation_v8_medium_train_250 gun, knife, wrench Detection preview by Segmentation_V11_large_300_train_300 gun, knife, wrench Detection preview by Segmentation_v8_large_300_train_300
Original Image: P00501.jpg
GT: knife, wrench
knife, wrench Detection preview by Box_v11_medium_train_SIXray_OPIXray No objects detected Detection preview by DN_Medium_300_yolov8m_20t7_new knife, wrench Detection preview by Segmentatation_v8_medium_train_250 knife, wrench Detection preview by Segmentation_V11_large_300_train_300 knife, wrench Detection preview by Segmentation_v8_large_300_train_300
Original Image: P00502.jpg
GT: gun, knife
gun, knife, wrench Detection preview by Box_v11_medium_train_SIXray_OPIXray No objects detected Detection preview by DN_Medium_300_yolov8m_20t7_new knife, wrench Detection preview by Segmentatation_v8_medium_train_250 knife, wrench Detection preview by Segmentation_V11_large_300_train_300 knife, wrench Detection preview by Segmentation_v8_large_300_train_300
Original Image: P00503.jpg
GT: knife, wrench
knife, wrench Detection preview by Box_v11_medium_train_SIXray_OPIXray No objects detected Detection preview by DN_Medium_300_yolov8m_20t7_new knife, wrench Detection preview by Segmentatation_v8_medium_train_250 knife, wrench Detection preview by Segmentation_V11_large_300_train_300 knife, wrench Detection preview by Segmentation_v8_large_300_train_300
Original Image: P00504.jpg
GT: gun, knife, wrench
gun, knife, wrench Detection preview by Box_v11_medium_train_SIXray_OPIXray No objects detected Detection preview by DN_Medium_300_yolov8m_20t7_new gun, knife, wrench Detection preview by Segmentatation_v8_medium_train_250 gun, knife, wrench Detection preview by Segmentation_V11_large_300_train_300 gun, knife, wrench Detection preview by Segmentation_v8_large_300_train_300
Original Image: P00505.jpg
GT: knife, wrench
knife, wrench Detection preview by Box_v11_medium_train_SIXray_OPIXray No objects detected Detection preview by DN_Medium_300_yolov8m_20t7_new knife, wrench Detection preview by Segmentatation_v8_medium_train_250 knife, wrench Detection preview by Segmentation_V11_large_300_train_300 knife, wrench Detection preview by Segmentation_v8_large_300_train_300
Original Image: P00506.jpg
GT: knife, wrench
knife, wrench Detection preview by Box_v11_medium_train_SIXray_OPIXray No objects detected Detection preview by DN_Medium_300_yolov8m_20t7_new knife, wrench Detection preview by Segmentatation_v8_medium_train_250 knife, wrench Detection preview by Segmentation_V11_large_300_train_300 knife, wrench Detection preview by Segmentation_v8_large_300_train_300
Original Image: P00507.jpg
GT: knife, wrench
knife, wrench Detection preview by Box_v11_medium_train_SIXray_OPIXray No objects detected Detection preview by DN_Medium_300_yolov8m_20t7_new knife, wrench Detection preview by Segmentatation_v8_medium_train_250 knife, wrench Detection preview by Segmentation_V11_large_300_train_300 knife, wrench Detection preview by Segmentation_v8_large_300_train_300
Original Image: P00508.jpg
GT: knife, wrench
knife, wrench Detection preview by Box_v11_medium_train_SIXray_OPIXray No objects detected Detection preview by DN_Medium_300_yolov8m_20t7_new knife, wrench Detection preview by Segmentatation_v8_medium_train_250 knife, wrench Detection preview by Segmentation_V11_large_300_train_300 knife, wrench Detection preview by Segmentation_v8_large_300_train_300
Original Image: P00509.jpg
GT: knife, wrench
knife, wrench Detection preview by Box_v11_medium_train_SIXray_OPIXray No objects detected Detection preview by DN_Medium_300_yolov8m_20t7_new knife, wrench Detection preview by Segmentatation_v8_medium_train_250 knife, wrench Detection preview by Segmentation_V11_large_300_train_300 knife, wrench Detection preview by Segmentation_v8_large_300_train_300
Original Image: P00510.jpg
GT: knife, wrench
knife, wrench Detection preview by Box_v11_medium_train_SIXray_OPIXray No objects detected Detection preview by DN_Medium_300_yolov8m_20t7_new knife, wrench Detection preview by Segmentatation_v8_medium_train_250 knife, wrench Detection preview by Segmentation_V11_large_300_train_300 knife, wrench Detection preview by Segmentation_v8_large_300_train_300
Original Image: P00511.jpg
GT: knife
knife Detection preview by Box_v11_medium_train_SIXray_OPIXray No objects detected Detection preview by DN_Medium_300_yolov8m_20t7_new knife Detection preview by Segmentatation_v8_medium_train_250 knife Detection preview by Segmentation_V11_large_300_train_300 knife Detection preview by Segmentation_v8_large_300_train_300
Original Image: P00512.jpg
GT: knife, wrench
knife, wrench Detection preview by Box_v11_medium_train_SIXray_OPIXray No objects detected Detection preview by DN_Medium_300_yolov8m_20t7_new knife, wrench Detection preview by Segmentatation_v8_medium_train_250 knife, wrench Detection preview by Segmentation_V11_large_300_train_300 knife, wrench Detection preview by Segmentation_v8_large_300_train_300
Original Image: P00513.jpg
GT: knife, wrench
knife, wrench Detection preview by Box_v11_medium_train_SIXray_OPIXray No objects detected Detection preview by DN_Medium_300_yolov8m_20t7_new knife, wrench Detection preview by Segmentatation_v8_medium_train_250 knife, wrench Detection preview by Segmentation_V11_large_300_train_300 knife, wrench Detection preview by Segmentation_v8_large_300_train_300
Original Image: P00514.jpg
GT: knife, wrench
knife, wrench Detection preview by Box_v11_medium_train_SIXray_OPIXray No objects detected Detection preview by DN_Medium_300_yolov8m_20t7_new knife, wrench Detection preview by Segmentatation_v8_medium_train_250 knife, wrench Detection preview by Segmentation_V11_large_300_train_300 knife, wrench Detection preview by Segmentation_v8_large_300_train_300
Original Image: P00515.jpg
GT: knife, wrench
knife, wrench Detection preview by Box_v11_medium_train_SIXray_OPIXray No objects detected Detection preview by DN_Medium_300_yolov8m_20t7_new knife, wrench Detection preview by Segmentatation_v8_medium_train_250 knife, wrench Detection preview by Segmentation_V11_large_300_train_300 knife, wrench Detection preview by Segmentation_v8_large_300_train_300
Original Image: P00516.jpg
GT: knife, wrench
knife, wrench Detection preview by Box_v11_medium_train_SIXray_OPIXray No objects detected Detection preview by DN_Medium_300_yolov8m_20t7_new knife, wrench Detection preview by Segmentatation_v8_medium_train_250 knife, wrench Detection preview by Segmentation_V11_large_300_train_300 knife, wrench Detection preview by Segmentation_v8_large_300_train_300
Original Image: P00517.jpg
GT: knife, wrench
knife, wrench Detection preview by Box_v11_medium_train_SIXray_OPIXray No objects detected Detection preview by DN_Medium_300_yolov8m_20t7_new knife, wrench Detection preview by Segmentatation_v8_medium_train_250 knife, wrench Detection preview by Segmentation_V11_large_300_train_300 knife, wrench Detection preview by Segmentation_v8_large_300_train_300
Original Image: P00518.jpg
GT: knife, wrench
knife, wrench Detection preview by Box_v11_medium_train_SIXray_OPIXray No objects detected Detection preview by DN_Medium_300_yolov8m_20t7_new knife, wrench Detection preview by Segmentatation_v8_medium_train_250 knife, wrench Detection preview by Segmentation_V11_large_300_train_300 knife, wrench Detection preview by Segmentation_v8_large_300_train_300
Original Image: P00519.jpg
GT: gun, knife, wrench
gun, knife, wrench Detection preview by Box_v11_medium_train_SIXray_OPIXray No objects detected Detection preview by DN_Medium_300_yolov8m_20t7_new gun, knife, wrench Detection preview by Segmentatation_v8_medium_train_250 gun, knife, wrench Detection preview by Segmentation_V11_large_300_train_300 gun, knife, wrench Detection preview by Segmentation_v8_large_300_train_300
Original Image: P00520.jpg
GT: knife, wrench
knife, wrench Detection preview by Box_v11_medium_train_SIXray_OPIXray No objects detected Detection preview by DN_Medium_300_yolov8m_20t7_new knife, wrench Detection preview by Segmentatation_v8_medium_train_250 knife, wrench Detection preview by Segmentation_V11_large_300_train_300 knife, wrench Detection preview by Segmentation_v8_large_300_train_300
Original Image: P00521.jpg
GT: knife, wrench
knife, wrench Detection preview by Box_v11_medium_train_SIXray_OPIXray No objects detected Detection preview by DN_Medium_300_yolov8m_20t7_new knife, wrench Detection preview by Segmentatation_v8_medium_train_250 knife, wrench Detection preview by Segmentation_V11_large_300_train_300 knife, wrench Detection preview by Segmentation_v8_large_300_train_300
Original Image: P00522.jpg
GT: knife, wrench
knife, wrench Detection preview by Box_v11_medium_train_SIXray_OPIXray No objects detected Detection preview by DN_Medium_300_yolov8m_20t7_new knife, wrench Detection preview by Segmentatation_v8_medium_train_250 knife, wrench Detection preview by Segmentation_V11_large_300_train_300 knife, wrench Detection preview by Segmentation_v8_large_300_train_300
Original Image: P00523.jpg
GT: knife, wrench
knife, wrench Detection preview by Box_v11_medium_train_SIXray_OPIXray No objects detected Detection preview by DN_Medium_300_yolov8m_20t7_new knife, wrench Detection preview by Segmentatation_v8_medium_train_250 knife, wrench Detection preview by Segmentation_V11_large_300_train_300 knife, wrench Detection preview by Segmentation_v8_large_300_train_300
Original Image: P00524.jpg
GT: knife, wrench
knife, wrench Detection preview by Box_v11_medium_train_SIXray_OPIXray No objects detected Detection preview by DN_Medium_300_yolov8m_20t7_new knife, wrench Detection preview by Segmentatation_v8_medium_train_250 knife, wrench Detection preview by Segmentation_V11_large_300_train_300 knife, wrench Detection preview by Segmentation_v8_large_300_train_300
Original Image: P00525.jpg
GT: knife, wrench
knife, wrench Detection preview by Box_v11_medium_train_SIXray_OPIXray No objects detected Detection preview by DN_Medium_300_yolov8m_20t7_new knife, wrench Detection preview by Segmentatation_v8_medium_train_250 knife, wrench Detection preview by Segmentation_V11_large_300_train_300 knife, wrench Detection preview by Segmentation_v8_large_300_train_300
Original Image: P00526.jpg
GT: knife, wrench
knife, wrench Detection preview by Box_v11_medium_train_SIXray_OPIXray No objects detected Detection preview by DN_Medium_300_yolov8m_20t7_new knife, wrench Detection preview by Segmentatation_v8_medium_train_250 knife, wrench Detection preview by Segmentation_V11_large_300_train_300 knife, wrench Detection preview by Segmentation_v8_large_300_train_300
Original Image: P00527.jpg
GT: knife
knife Detection preview by Box_v11_medium_train_SIXray_OPIXray No objects detected Detection preview by DN_Medium_300_yolov8m_20t7_new knife Detection preview by Segmentatation_v8_medium_train_250 knife Detection preview by Segmentation_V11_large_300_train_300 knife Detection preview by Segmentation_v8_large_300_train_300
Original Image: P00528.jpg
GT: knife
gun, knife Detection preview by Box_v11_medium_train_SIXray_OPIXray No objects detected Detection preview by DN_Medium_300_yolov8m_20t7_new knife Detection preview by Segmentatation_v8_medium_train_250 knife Detection preview by Segmentation_V11_large_300_train_300 knife Detection preview by Segmentation_v8_large_300_train_300
Original Image: P00529.jpg
GT: knife
knife Detection preview by Box_v11_medium_train_SIXray_OPIXray No objects detected Detection preview by DN_Medium_300_yolov8m_20t7_new knife Detection preview by Segmentatation_v8_medium_train_250 knife Detection preview by Segmentation_V11_large_300_train_300 knife Detection preview by Segmentation_v8_large_300_train_300
Original Image: P00530.jpg
GT: knife
knife Detection preview by Box_v11_medium_train_SIXray_OPIXray No objects detected Detection preview by DN_Medium_300_yolov8m_20t7_new knife Detection preview by Segmentatation_v8_medium_train_250 knife Detection preview by Segmentation_V11_large_300_train_300 knife Detection preview by Segmentation_v8_large_300_train_300
Original Image: P00531.jpg
GT: knife, wrench
knife, wrench Detection preview by Box_v11_medium_train_SIXray_OPIXray No objects detected Detection preview by DN_Medium_300_yolov8m_20t7_new knife, wrench Detection preview by Segmentatation_v8_medium_train_250 gun, knife, wrench Detection preview by Segmentation_V11_large_300_train_300 wrench Detection preview by Segmentation_v8_large_300_train_300
Original Image: P00532.jpg
GT: knife
knife Detection preview by Box_v11_medium_train_SIXray_OPIXray No objects detected Detection preview by DN_Medium_300_yolov8m_20t7_new knife Detection preview by Segmentatation_v8_medium_train_250 knife Detection preview by Segmentation_V11_large_300_train_300 knife Detection preview by Segmentation_v8_large_300_train_300
Original Image: P00533.jpg
GT: knife, wrench
knife, wrench Detection preview by Box_v11_medium_train_SIXray_OPIXray No objects detected Detection preview by DN_Medium_300_yolov8m_20t7_new knife, wrench Detection preview by Segmentatation_v8_medium_train_250 knife, wrench Detection preview by Segmentation_V11_large_300_train_300 knife, wrench Detection preview by Segmentation_v8_large_300_train_300
Original Image: P00534.jpg
GT: knife
knife Detection preview by Box_v11_medium_train_SIXray_OPIXray No objects detected Detection preview by DN_Medium_300_yolov8m_20t7_new knife Detection preview by Segmentatation_v8_medium_train_250 knife Detection preview by Segmentation_V11_large_300_train_300 knife Detection preview by Segmentation_v8_large_300_train_300
Original Image: P00535.jpg
GT: knife, wrench
knife, wrench Detection preview by Box_v11_medium_train_SIXray_OPIXray No objects detected Detection preview by DN_Medium_300_yolov8m_20t7_new knife, wrench Detection preview by Segmentatation_v8_medium_train_250 knife, wrench Detection preview by Segmentation_V11_large_300_train_300 knife, wrench Detection preview by Segmentation_v8_large_300_train_300
Original Image: P00536.jpg
GT: knife
knife Detection preview by Box_v11_medium_train_SIXray_OPIXray No objects detected Detection preview by DN_Medium_300_yolov8m_20t7_new knife Detection preview by Segmentatation_v8_medium_train_250 knife Detection preview by Segmentation_V11_large_300_train_300 knife Detection preview by Segmentation_v8_large_300_train_300
Original Image: P00537.jpg
GT: knife, wrench
knife, wrench Detection preview by Box_v11_medium_train_SIXray_OPIXray No objects detected Detection preview by DN_Medium_300_yolov8m_20t7_new knife, wrench Detection preview by Segmentatation_v8_medium_train_250 knife, wrench Detection preview by Segmentation_V11_large_300_train_300 knife, wrench Detection preview by Segmentation_v8_large_300_train_300
Original Image: P00538.jpg
GT: knife
knife Detection preview by Box_v11_medium_train_SIXray_OPIXray No objects detected Detection preview by DN_Medium_300_yolov8m_20t7_new knife Detection preview by Segmentatation_v8_medium_train_250 knife Detection preview by Segmentation_V11_large_300_train_300 knife Detection preview by Segmentation_v8_large_300_train_300
Original Image: P00539.jpg
GT: knife, wrench
knife, wrench Detection preview by Box_v11_medium_train_SIXray_OPIXray No objects detected Detection preview by DN_Medium_300_yolov8m_20t7_new knife, wrench Detection preview by Segmentatation_v8_medium_train_250 knife, wrench Detection preview by Segmentation_V11_large_300_train_300 knife, wrench Detection preview by Segmentation_v8_large_300_train_300
Original Image: P00540.jpg
GT: knife
knife Detection preview by Box_v11_medium_train_SIXray_OPIXray No objects detected Detection preview by DN_Medium_300_yolov8m_20t7_new knife Detection preview by Segmentatation_v8_medium_train_250 knife Detection preview by Segmentation_V11_large_300_train_300 knife Detection preview by Segmentation_v8_large_300_train_300
Original Image: P00541.jpg
GT: gun, knife, wrench
gun, knife, wrench Detection preview by Box_v11_medium_train_SIXray_OPIXray No objects detected Detection preview by DN_Medium_300_yolov8m_20t7_new gun, knife, wrench Detection preview by Segmentatation_v8_medium_train_250 gun, knife, wrench Detection preview by Segmentation_V11_large_300_train_300 gun, knife, wrench Detection preview by Segmentation_v8_large_300_train_300
Original Image: P00542.jpg
GT: knife
knife Detection preview by Box_v11_medium_train_SIXray_OPIXray No objects detected Detection preview by DN_Medium_300_yolov8m_20t7_new knife Detection preview by Segmentatation_v8_medium_train_250 knife Detection preview by Segmentation_V11_large_300_train_300 knife Detection preview by Segmentation_v8_large_300_train_300
Original Image: P00543.jpg
GT: gun, knife, wrench
gun, knife, wrench Detection preview by Box_v11_medium_train_SIXray_OPIXray No objects detected Detection preview by DN_Medium_300_yolov8m_20t7_new knife, wrench Detection preview by Segmentatation_v8_medium_train_250 knife, wrench Detection preview by Segmentation_V11_large_300_train_300 knife, wrench Detection preview by Segmentation_v8_large_300_train_300
Original Image: P00544.jpg
GT: knife
knife Detection preview by Box_v11_medium_train_SIXray_OPIXray No objects detected Detection preview by DN_Medium_300_yolov8m_20t7_new knife Detection preview by Segmentatation_v8_medium_train_250 knife Detection preview by Segmentation_V11_large_300_train_300 knife Detection preview by Segmentation_v8_large_300_train_300
Original Image: P00545.jpg
GT: gun, knife, wrench
gun, knife, wrench Detection preview by Box_v11_medium_train_SIXray_OPIXray No objects detected Detection preview by DN_Medium_300_yolov8m_20t7_new gun, knife, wrench Detection preview by Segmentatation_v8_medium_train_250 gun, knife, wrench Detection preview by Segmentation_V11_large_300_train_300 gun, knife, wrench Detection preview by Segmentation_v8_large_300_train_300
Original Image: P00546.jpg
GT: knife
knife Detection preview by Box_v11_medium_train_SIXray_OPIXray No objects detected Detection preview by DN_Medium_300_yolov8m_20t7_new knife Detection preview by Segmentatation_v8_medium_train_250 knife Detection preview by Segmentation_V11_large_300_train_300 knife Detection preview by Segmentation_v8_large_300_train_300
Original Image: P00547.jpg
GT: gun, knife, wrench
gun, knife, wrench Detection preview by Box_v11_medium_train_SIXray_OPIXray No objects detected Detection preview by DN_Medium_300_yolov8m_20t7_new knife, wrench Detection preview by Segmentatation_v8_medium_train_250 knife, wrench Detection preview by Segmentation_V11_large_300_train_300 knife, wrench Detection preview by Segmentation_v8_large_300_train_300
Original Image: P00548.jpg
GT: knife
knife Detection preview by Box_v11_medium_train_SIXray_OPIXray No objects detected Detection preview by DN_Medium_300_yolov8m_20t7_new knife Detection preview by Segmentatation_v8_medium_train_250 knife Detection preview by Segmentation_V11_large_300_train_300 knife Detection preview by Segmentation_v8_large_300_train_300
Original Image: P00549.jpg
GT: gun, knife, wrench
gun, knife, wrench Detection preview by Box_v11_medium_train_SIXray_OPIXray No objects detected Detection preview by DN_Medium_300_yolov8m_20t7_new gun, knife, wrench Detection preview by Segmentatation_v8_medium_train_250 gun, knife, wrench Detection preview by Segmentation_V11_large_300_train_300 gun, knife, wrench Detection preview by Segmentation_v8_large_300_train_300
Original Image: P00550.jpg
GT: knife
knife Detection preview by Box_v11_medium_train_SIXray_OPIXray No objects detected Detection preview by DN_Medium_300_yolov8m_20t7_new knife Detection preview by Segmentatation_v8_medium_train_250 knife Detection preview by Segmentation_V11_large_300_train_300 knife Detection preview by Segmentation_v8_large_300_train_300
Original Image: P00551.jpg
GT: gun, knife, wrench
gun, knife, wrench Detection preview by Box_v11_medium_train_SIXray_OPIXray No objects detected Detection preview by DN_Medium_300_yolov8m_20t7_new gun, knife, wrench Detection preview by Segmentatation_v8_medium_train_250 gun, knife, wrench Detection preview by Segmentation_V11_large_300_train_300 gun, knife, wrench Detection preview by Segmentation_v8_large_300_train_300
Original Image: P00552.jpg
GT: knife
knife Detection preview by Box_v11_medium_train_SIXray_OPIXray No objects detected Detection preview by DN_Medium_300_yolov8m_20t7_new knife Detection preview by Segmentatation_v8_medium_train_250 knife Detection preview by Segmentation_V11_large_300_train_300 knife Detection preview by Segmentation_v8_large_300_train_300
Original Image: P00553.jpg
GT: knife
knife Detection preview by Box_v11_medium_train_SIXray_OPIXray No objects detected Detection preview by DN_Medium_300_yolov8m_20t7_new knife Detection preview by Segmentatation_v8_medium_train_250 knife Detection preview by Segmentation_V11_large_300_train_300 knife Detection preview by Segmentation_v8_large_300_train_300
Original Image: P00554.jpg
GT: gun, knife, wrench
gun, knife, wrench Detection preview by Box_v11_medium_train_SIXray_OPIXray No objects detected Detection preview by DN_Medium_300_yolov8m_20t7_new gun, knife, wrench Detection preview by Segmentatation_v8_medium_train_250 knife, wrench Detection preview by Segmentation_V11_large_300_train_300 knife, wrench Detection preview by Segmentation_v8_large_300_train_300
Original Image: P00555.jpg
GT: knife
knife Detection preview by Box_v11_medium_train_SIXray_OPIXray No objects detected Detection preview by DN_Medium_300_yolov8m_20t7_new knife Detection preview by Segmentatation_v8_medium_train_250 knife Detection preview by Segmentation_V11_large_300_train_300 knife Detection preview by Segmentation_v8_large_300_train_300
Original Image: P00556.jpg
GT: gun, knife, wrench
gun, knife, wrench Detection preview by Box_v11_medium_train_SIXray_OPIXray No objects detected Detection preview by DN_Medium_300_yolov8m_20t7_new gun, knife, wrench Detection preview by Segmentatation_v8_medium_train_250 knife, wrench Detection preview by Segmentation_V11_large_300_train_300 gun, knife, wrench Detection preview by Segmentation_v8_large_300_train_300
Original Image: P00557.jpg
GT: knife
knife Detection preview by Box_v11_medium_train_SIXray_OPIXray No objects detected Detection preview by DN_Medium_300_yolov8m_20t7_new knife Detection preview by Segmentatation_v8_medium_train_250 knife Detection preview by Segmentation_V11_large_300_train_300 knife Detection preview by Segmentation_v8_large_300_train_300
Original Image: P00558.jpg
GT: gun, knife, wrench
gun, knife, wrench Detection preview by Box_v11_medium_train_SIXray_OPIXray No objects detected Detection preview by DN_Medium_300_yolov8m_20t7_new gun, knife, wrench Detection preview by Segmentatation_v8_medium_train_250 gun, knife, wrench Detection preview by Segmentation_V11_large_300_train_300 gun, knife, wrench Detection preview by Segmentation_v8_large_300_train_300
Original Image: P00559.jpg
GT: knife
knife Detection preview by Box_v11_medium_train_SIXray_OPIXray No objects detected Detection preview by DN_Medium_300_yolov8m_20t7_new knife Detection preview by Segmentatation_v8_medium_train_250 knife Detection preview by Segmentation_V11_large_300_train_300 knife Detection preview by Segmentation_v8_large_300_train_300
Original Image: P00560.jpg
GT: knife
knife Detection preview by Box_v11_medium_train_SIXray_OPIXray No objects detected Detection preview by DN_Medium_300_yolov8m_20t7_new knife Detection preview by Segmentatation_v8_medium_train_250 knife Detection preview by Segmentation_V11_large_300_train_300 knife Detection preview by Segmentation_v8_large_300_train_300
Original Image: P00561.jpg
GT: gun, knife, wrench
gun, knife, wrench Detection preview by Box_v11_medium_train_SIXray_OPIXray No objects detected Detection preview by DN_Medium_300_yolov8m_20t7_new knife, wrench Detection preview by Segmentatation_v8_medium_train_250 gun, knife, wrench Detection preview by Segmentation_V11_large_300_train_300 knife, wrench Detection preview by Segmentation_v8_large_300_train_300
Original Image: P00562.jpg
GT: knife
knife Detection preview by Box_v11_medium_train_SIXray_OPIXray No objects detected Detection preview by DN_Medium_300_yolov8m_20t7_new knife Detection preview by Segmentatation_v8_medium_train_250 knife Detection preview by Segmentation_V11_large_300_train_300 knife Detection preview by Segmentation_v8_large_300_train_300
Original Image: P00563.jpg
GT: gun, knife, wrench
gun, knife, wrench Detection preview by Box_v11_medium_train_SIXray_OPIXray No objects detected Detection preview by DN_Medium_300_yolov8m_20t7_new knife, wrench Detection preview by Segmentatation_v8_medium_train_250 knife, wrench Detection preview by Segmentation_V11_large_300_train_300 knife, wrench Detection preview by Segmentation_v8_large_300_train_300
Original Image: P00564.jpg
GT: knife
knife Detection preview by Box_v11_medium_train_SIXray_OPIXray No objects detected Detection preview by DN_Medium_300_yolov8m_20t7_new knife Detection preview by Segmentatation_v8_medium_train_250 knife Detection preview by Segmentation_V11_large_300_train_300 knife Detection preview by Segmentation_v8_large_300_train_300
Original Image: P00565.jpg
GT: gun, knife, wrench
gun, knife, wrench Detection preview by Box_v11_medium_train_SIXray_OPIXray No objects detected Detection preview by DN_Medium_300_yolov8m_20t7_new gun, knife, wrench Detection preview by Segmentatation_v8_medium_train_250 gun, knife, wrench Detection preview by Segmentation_V11_large_300_train_300 gun, knife, wrench Detection preview by Segmentation_v8_large_300_train_300
Original Image: P00566.jpg
GT: knife
knife Detection preview by Box_v11_medium_train_SIXray_OPIXray No objects detected Detection preview by DN_Medium_300_yolov8m_20t7_new knife Detection preview by Segmentatation_v8_medium_train_250 knife Detection preview by Segmentation_V11_large_300_train_300 knife Detection preview by Segmentation_v8_large_300_train_300
Original Image: P00567.jpg
GT: gun, knife, wrench
gun, knife, wrench Detection preview by Box_v11_medium_train_SIXray_OPIXray No objects detected Detection preview by DN_Medium_300_yolov8m_20t7_new knife, wrench Detection preview by Segmentatation_v8_medium_train_250 knife, wrench Detection preview by Segmentation_V11_large_300_train_300 gun, knife, wrench Detection preview by Segmentation_v8_large_300_train_300
Original Image: P00568.jpg
GT: knife
knife Detection preview by Box_v11_medium_train_SIXray_OPIXray No objects detected Detection preview by DN_Medium_300_yolov8m_20t7_new knife Detection preview by Segmentatation_v8_medium_train_250 knife Detection preview by Segmentation_V11_large_300_train_300 knife Detection preview by Segmentation_v8_large_300_train_300
Original Image: P00569.jpg
GT: gun, knife, wrench
gun, knife, wrench Detection preview by Box_v11_medium_train_SIXray_OPIXray No objects detected Detection preview by DN_Medium_300_yolov8m_20t7_new gun, knife, wrench Detection preview by Segmentatation_v8_medium_train_250 gun, knife, wrench Detection preview by Segmentation_V11_large_300_train_300 gun, knife, wrench Detection preview by Segmentation_v8_large_300_train_300
Original Image: P00570.jpg
GT: knife
knife Detection preview by Box_v11_medium_train_SIXray_OPIXray No objects detected Detection preview by DN_Medium_300_yolov8m_20t7_new knife Detection preview by Segmentatation_v8_medium_train_250 knife Detection preview by Segmentation_V11_large_300_train_300 knife Detection preview by Segmentation_v8_large_300_train_300
Original Image: P00571.jpg
GT: gun, knife, wrench
gun, knife, wrench Detection preview by Box_v11_medium_train_SIXray_OPIXray No objects detected Detection preview by DN_Medium_300_yolov8m_20t7_new gun, knife, wrench Detection preview by Segmentatation_v8_medium_train_250 gun, knife, wrench Detection preview by Segmentation_V11_large_300_train_300 gun, knife, wrench Detection preview by Segmentation_v8_large_300_train_300
Original Image: P00572.jpg
GT: knife
knife Detection preview by Box_v11_medium_train_SIXray_OPIXray No objects detected Detection preview by DN_Medium_300_yolov8m_20t7_new knife Detection preview by Segmentatation_v8_medium_train_250 knife Detection preview by Segmentation_V11_large_300_train_300 knife Detection preview by Segmentation_v8_large_300_train_300
Original Image: P00573.jpg
GT: knife
knife Detection preview by Box_v11_medium_train_SIXray_OPIXray No objects detected Detection preview by DN_Medium_300_yolov8m_20t7_new knife Detection preview by Segmentatation_v8_medium_train_250 knife Detection preview by Segmentation_V11_large_300_train_300 knife Detection preview by Segmentation_v8_large_300_train_300
Original Image: P00574.jpg
GT: gun, knife, wrench
gun, knife, wrench Detection preview by Box_v11_medium_train_SIXray_OPIXray No objects detected Detection preview by DN_Medium_300_yolov8m_20t7_new knife, wrench Detection preview by Segmentatation_v8_medium_train_250 knife, wrench Detection preview by Segmentation_V11_large_300_train_300 knife, wrench Detection preview by Segmentation_v8_large_300_train_300
Original Image: P00575.jpg
GT: knife
knife Detection preview by Box_v11_medium_train_SIXray_OPIXray No objects detected Detection preview by DN_Medium_300_yolov8m_20t7_new knife Detection preview by Segmentatation_v8_medium_train_250 knife Detection preview by Segmentation_V11_large_300_train_300 knife Detection preview by Segmentation_v8_large_300_train_300
Original Image: P00576.jpg
GT: gun, knife, wrench
gun, knife, wrench Detection preview by Box_v11_medium_train_SIXray_OPIXray No objects detected Detection preview by DN_Medium_300_yolov8m_20t7_new knife, wrench Detection preview by Segmentatation_v8_medium_train_250 gun, knife, wrench Detection preview by Segmentation_V11_large_300_train_300 gun, knife, wrench Detection preview by Segmentation_v8_large_300_train_300
Original Image: P00577.jpg
GT: gun, knife, wrench
gun, knife, wrench Detection preview by Box_v11_medium_train_SIXray_OPIXray No objects detected Detection preview by DN_Medium_300_yolov8m_20t7_new gun, knife, wrench Detection preview by Segmentatation_v8_medium_train_250 knife, wrench Detection preview by Segmentation_V11_large_300_train_300 gun, knife, wrench Detection preview by Segmentation_v8_large_300_train_300
Original Image: P00578.jpg
GT: knife
knife Detection preview by Box_v11_medium_train_SIXray_OPIXray No objects detected Detection preview by DN_Medium_300_yolov8m_20t7_new knife Detection preview by Segmentatation_v8_medium_train_250 knife Detection preview by Segmentation_V11_large_300_train_300 knife Detection preview by Segmentation_v8_large_300_train_300
Original Image: P00579.jpg
GT: gun, knife, wrench
gun, knife, wrench Detection preview by Box_v11_medium_train_SIXray_OPIXray No objects detected Detection preview by DN_Medium_300_yolov8m_20t7_new gun, knife, wrench Detection preview by Segmentatation_v8_medium_train_250 gun, knife, wrench Detection preview by Segmentation_V11_large_300_train_300 gun, knife, wrench Detection preview by Segmentation_v8_large_300_train_300
Original Image: P00580.jpg
GT: knife
knife Detection preview by Box_v11_medium_train_SIXray_OPIXray No objects detected Detection preview by DN_Medium_300_yolov8m_20t7_new knife Detection preview by Segmentatation_v8_medium_train_250 knife Detection preview by Segmentation_V11_large_300_train_300 knife Detection preview by Segmentation_v8_large_300_train_300
Original Image: P00581.jpg
GT: gun, knife, wrench
gun, knife, wrench Detection preview by Box_v11_medium_train_SIXray_OPIXray No objects detected Detection preview by DN_Medium_300_yolov8m_20t7_new gun, knife, wrench Detection preview by Segmentatation_v8_medium_train_250 gun, knife, wrench Detection preview by Segmentation_V11_large_300_train_300 gun, knife, wrench Detection preview by Segmentation_v8_large_300_train_300
Original Image: P00582.jpg
GT: knife
knife Detection preview by Box_v11_medium_train_SIXray_OPIXray No objects detected Detection preview by DN_Medium_300_yolov8m_20t7_new knife Detection preview by Segmentatation_v8_medium_train_250 knife Detection preview by Segmentation_V11_large_300_train_300 knife Detection preview by Segmentation_v8_large_300_train_300
Original Image: P00583.jpg
GT: gun, knife, wrench
gun, knife, wrench Detection preview by Box_v11_medium_train_SIXray_OPIXray No objects detected Detection preview by DN_Medium_300_yolov8m_20t7_new gun, knife, wrench Detection preview by Segmentatation_v8_medium_train_250 gun, knife, wrench Detection preview by Segmentation_V11_large_300_train_300 gun, knife, wrench Detection preview by Segmentation_v8_large_300_train_300
Original Image: P00584.jpg
GT: knife
knife Detection preview by Box_v11_medium_train_SIXray_OPIXray No objects detected Detection preview by DN_Medium_300_yolov8m_20t7_new knife Detection preview by Segmentatation_v8_medium_train_250 knife Detection preview by Segmentation_V11_large_300_train_300 knife Detection preview by Segmentation_v8_large_300_train_300
Original Image: P00585.jpg
GT: gun, knife, wrench
gun, knife, wrench Detection preview by Box_v11_medium_train_SIXray_OPIXray No objects detected Detection preview by DN_Medium_300_yolov8m_20t7_new gun, knife, wrench Detection preview by Segmentatation_v8_medium_train_250 gun, knife, wrench Detection preview by Segmentation_V11_large_300_train_300 gun, knife, wrench Detection preview by Segmentation_v8_large_300_train_300
Original Image: P00586.jpg
GT: knife
knife Detection preview by Box_v11_medium_train_SIXray_OPIXray No objects detected Detection preview by DN_Medium_300_yolov8m_20t7_new knife Detection preview by Segmentatation_v8_medium_train_250 knife Detection preview by Segmentation_V11_large_300_train_300 knife Detection preview by Segmentation_v8_large_300_train_300
Original Image: P00587.jpg
GT: knife
knife Detection preview by Box_v11_medium_train_SIXray_OPIXray No objects detected Detection preview by DN_Medium_300_yolov8m_20t7_new knife Detection preview by Segmentatation_v8_medium_train_250 knife Detection preview by Segmentation_V11_large_300_train_300 knife Detection preview by Segmentation_v8_large_300_train_300
Original Image: P00588.jpg
GT: knife
knife Detection preview by Box_v11_medium_train_SIXray_OPIXray gun Detection preview by DN_Medium_300_yolov8m_20t7_new knife Detection preview by Segmentatation_v8_medium_train_250 knife Detection preview by Segmentation_V11_large_300_train_300 knife Detection preview by Segmentation_v8_large_300_train_300
Original Image: P00589.jpg
GT: gun, knife, wrench
gun, knife, wrench Detection preview by Box_v11_medium_train_SIXray_OPIXray No objects detected Detection preview by DN_Medium_300_yolov8m_20t7_new knife, wrench Detection preview by Segmentatation_v8_medium_train_250 gun, knife, scissor, wrench Detection preview by Segmentation_V11_large_300_train_300 gun, knife, wrench Detection preview by Segmentation_v8_large_300_train_300
Original Image: P00590.jpg
GT: knife
knife Detection preview by Box_v11_medium_train_SIXray_OPIXray No objects detected Detection preview by DN_Medium_300_yolov8m_20t7_new knife Detection preview by Segmentatation_v8_medium_train_250 knife Detection preview by Segmentation_V11_large_300_train_300 knife Detection preview by Segmentation_v8_large_300_train_300
Original Image: P00591.jpg
GT: gun, knife, wrench
gun, knife, wrench Detection preview by Box_v11_medium_train_SIXray_OPIXray No objects detected Detection preview by DN_Medium_300_yolov8m_20t7_new knife, wrench Detection preview by Segmentatation_v8_medium_train_250 knife, wrench Detection preview by Segmentation_V11_large_300_train_300 knife, wrench Detection preview by Segmentation_v8_large_300_train_300
Original Image: P00592.jpg
GT: knife
knife Detection preview by Box_v11_medium_train_SIXray_OPIXray No objects detected Detection preview by DN_Medium_300_yolov8m_20t7_new knife Detection preview by Segmentatation_v8_medium_train_250 knife Detection preview by Segmentation_V11_large_300_train_300 knife Detection preview by Segmentation_v8_large_300_train_300
Original Image: P00593.jpg
GT: gun, knife, wrench
gun, knife, wrench Detection preview by Box_v11_medium_train_SIXray_OPIXray No objects detected Detection preview by DN_Medium_300_yolov8m_20t7_new gun, knife, wrench Detection preview by Segmentatation_v8_medium_train_250 gun, knife, wrench Detection preview by Segmentation_V11_large_300_train_300 gun, knife, wrench Detection preview by Segmentation_v8_large_300_train_300
Original Image: P00594.jpg
GT: knife
knife Detection preview by Box_v11_medium_train_SIXray_OPIXray No objects detected Detection preview by DN_Medium_300_yolov8m_20t7_new knife Detection preview by Segmentatation_v8_medium_train_250 knife Detection preview by Segmentation_V11_large_300_train_300 knife Detection preview by Segmentation_v8_large_300_train_300
Original Image: P00595.jpg
GT: gun, knife, wrench
knife, wrench Detection preview by Box_v11_medium_train_SIXray_OPIXray No objects detected Detection preview by DN_Medium_300_yolov8m_20t7_new gun, knife, wrench Detection preview by Segmentatation_v8_medium_train_250 gun, knife, wrench Detection preview by Segmentation_V11_large_300_train_300 gun, knife, wrench Detection preview by Segmentation_v8_large_300_train_300
Original Image: P00596.jpg
GT: knife
knife Detection preview by Box_v11_medium_train_SIXray_OPIXray No objects detected Detection preview by DN_Medium_300_yolov8m_20t7_new knife Detection preview by Segmentatation_v8_medium_train_250 knife Detection preview by Segmentation_V11_large_300_train_300 knife Detection preview by Segmentation_v8_large_300_train_300
Original Image: P00597.jpg
GT: gun, knife, wrench
gun, knife, wrench Detection preview by Box_v11_medium_train_SIXray_OPIXray No objects detected Detection preview by DN_Medium_300_yolov8m_20t7_new gun, knife, wrench Detection preview by Segmentatation_v8_medium_train_250 gun, knife, wrench Detection preview by Segmentation_V11_large_300_train_300 gun, knife, wrench Detection preview by Segmentation_v8_large_300_train_300
Original Image: P00598.jpg
GT: knife
knife Detection preview by Box_v11_medium_train_SIXray_OPIXray No objects detected Detection preview by DN_Medium_300_yolov8m_20t7_new knife Detection preview by Segmentatation_v8_medium_train_250 knife Detection preview by Segmentation_V11_large_300_train_300 knife Detection preview by Segmentation_v8_large_300_train_300
Original Image: P00599.jpg
GT: gun, knife, wrench
gun, knife, wrench Detection preview by Box_v11_medium_train_SIXray_OPIXray pliers Detection preview by DN_Medium_300_yolov8m_20t7_new gun, knife, wrench Detection preview by Segmentatation_v8_medium_train_250 knife, wrench Detection preview by Segmentation_V11_large_300_train_300 knife, wrench Detection preview by Segmentation_v8_large_300_train_300
Original Image: P00600.jpg
GT: knife
knife Detection preview by Box_v11_medium_train_SIXray_OPIXray No objects detected Detection preview by DN_Medium_300_yolov8m_20t7_new knife Detection preview by Segmentatation_v8_medium_train_250 knife Detection preview by Segmentation_V11_large_300_train_300 knife Detection preview by Segmentation_v8_large_300_train_300
Original Image: P00601.jpg
GT: gun, knife, wrench
gun, knife, wrench Detection preview by Box_v11_medium_train_SIXray_OPIXray No objects detected Detection preview by DN_Medium_300_yolov8m_20t7_new gun, knife, wrench Detection preview by Segmentatation_v8_medium_train_250 gun, knife, wrench Detection preview by Segmentation_V11_large_300_train_300 gun, knife, wrench Detection preview by Segmentation_v8_large_300_train_300
Original Image: P00602.jpg
GT: knife
knife Detection preview by Box_v11_medium_train_SIXray_OPIXray No objects detected Detection preview by DN_Medium_300_yolov8m_20t7_new knife Detection preview by Segmentatation_v8_medium_train_250 knife Detection preview by Segmentation_V11_large_300_train_300 knife Detection preview by Segmentation_v8_large_300_train_300
Original Image: P00603.jpg
GT: gun, knife, wrench
gun, knife, wrench Detection preview by Box_v11_medium_train_SIXray_OPIXray No objects detected Detection preview by DN_Medium_300_yolov8m_20t7_new gun, knife, wrench Detection preview by Segmentatation_v8_medium_train_250 gun, knife, wrench Detection preview by Segmentation_V11_large_300_train_300 gun, knife, wrench Detection preview by Segmentation_v8_large_300_train_300
Original Image: P00604.jpg
GT: knife
knife Detection preview by Box_v11_medium_train_SIXray_OPIXray No objects detected Detection preview by DN_Medium_300_yolov8m_20t7_new knife Detection preview by Segmentatation_v8_medium_train_250 knife Detection preview by Segmentation_V11_large_300_train_300 knife Detection preview by Segmentation_v8_large_300_train_300
Original Image: P00605.jpg
GT: gun, knife, wrench
gun, knife, wrench Detection preview by Box_v11_medium_train_SIXray_OPIXray No objects detected Detection preview by DN_Medium_300_yolov8m_20t7_new gun, knife, wrench Detection preview by Segmentatation_v8_medium_train_250 gun, knife, wrench Detection preview by Segmentation_V11_large_300_train_300 knife, wrench Detection preview by Segmentation_v8_large_300_train_300
Original Image: P00606.jpg
GT: knife
knife Detection preview by Box_v11_medium_train_SIXray_OPIXray No objects detected Detection preview by DN_Medium_300_yolov8m_20t7_new knife Detection preview by Segmentatation_v8_medium_train_250 knife Detection preview by Segmentation_V11_large_300_train_300 knife Detection preview by Segmentation_v8_large_300_train_300
Original Image: P00607.jpg
GT: gun, knife, wrench
gun, knife, wrench Detection preview by Box_v11_medium_train_SIXray_OPIXray No objects detected Detection preview by DN_Medium_300_yolov8m_20t7_new gun, knife, wrench Detection preview by Segmentatation_v8_medium_train_250 gun, knife, wrench Detection preview by Segmentation_V11_large_300_train_300 gun, knife, wrench Detection preview by Segmentation_v8_large_300_train_300
Original Image: P00608.jpg
GT: knife
knife Detection preview by Box_v11_medium_train_SIXray_OPIXray No objects detected Detection preview by DN_Medium_300_yolov8m_20t7_new knife Detection preview by Segmentatation_v8_medium_train_250 knife Detection preview by Segmentation_V11_large_300_train_300 knife Detection preview by Segmentation_v8_large_300_train_300
Original Image: P00609.jpg
GT: gun, knife, wrench
gun, knife, wrench Detection preview by Box_v11_medium_train_SIXray_OPIXray No objects detected Detection preview by DN_Medium_300_yolov8m_20t7_new gun, knife, wrench Detection preview by Segmentatation_v8_medium_train_250 gun, knife, wrench Detection preview by Segmentation_V11_large_300_train_300 gun, knife, wrench Detection preview by Segmentation_v8_large_300_train_300
Original Image: P00610.jpg
GT: knife
knife Detection preview by Box_v11_medium_train_SIXray_OPIXray No objects detected Detection preview by DN_Medium_300_yolov8m_20t7_new knife Detection preview by Segmentatation_v8_medium_train_250 knife Detection preview by Segmentation_V11_large_300_train_300 knife Detection preview by Segmentation_v8_large_300_train_300
Original Image: P00611.jpg
GT: gun, knife, wrench
gun, knife, wrench Detection preview by Box_v11_medium_train_SIXray_OPIXray No objects detected Detection preview by DN_Medium_300_yolov8m_20t7_new gun, knife, wrench Detection preview by Segmentatation_v8_medium_train_250 gun, knife, wrench Detection preview by Segmentation_V11_large_300_train_300 gun, knife, wrench Detection preview by Segmentation_v8_large_300_train_300
Original Image: P00612.jpg
GT: knife
knife Detection preview by Box_v11_medium_train_SIXray_OPIXray No objects detected Detection preview by DN_Medium_300_yolov8m_20t7_new knife Detection preview by Segmentatation_v8_medium_train_250 knife Detection preview by Segmentation_V11_large_300_train_300 knife Detection preview by Segmentation_v8_large_300_train_300
Original Image: P00613.jpg
GT: gun, knife, wrench
gun, knife, wrench Detection preview by Box_v11_medium_train_SIXray_OPIXray No objects detected Detection preview by DN_Medium_300_yolov8m_20t7_new gun, knife, wrench Detection preview by Segmentatation_v8_medium_train_250 gun, knife, wrench Detection preview by Segmentation_V11_large_300_train_300 gun, knife, wrench Detection preview by Segmentation_v8_large_300_train_300
Original Image: P00614.jpg
GT: knife
knife Detection preview by Box_v11_medium_train_SIXray_OPIXray No objects detected Detection preview by DN_Medium_300_yolov8m_20t7_new knife Detection preview by Segmentatation_v8_medium_train_250 knife Detection preview by Segmentation_V11_large_300_train_300 knife Detection preview by Segmentation_v8_large_300_train_300
Original Image: P00615.jpg
GT: gun, knife, wrench
gun, knife, wrench Detection preview by Box_v11_medium_train_SIXray_OPIXray No objects detected Detection preview by DN_Medium_300_yolov8m_20t7_new gun, knife, wrench Detection preview by Segmentatation_v8_medium_train_250 gun, knife, wrench Detection preview by Segmentation_V11_large_300_train_300 gun, knife, wrench Detection preview by Segmentation_v8_large_300_train_300
Original Image: P00616.jpg
GT: knife
knife Detection preview by Box_v11_medium_train_SIXray_OPIXray No objects detected Detection preview by DN_Medium_300_yolov8m_20t7_new knife Detection preview by Segmentatation_v8_medium_train_250 knife Detection preview by Segmentation_V11_large_300_train_300 knife Detection preview by Segmentation_v8_large_300_train_300
Original Image: P00617.jpg
GT: gun, knife, wrench
gun, knife, wrench Detection preview by Box_v11_medium_train_SIXray_OPIXray No objects detected Detection preview by DN_Medium_300_yolov8m_20t7_new gun, knife, wrench Detection preview by Segmentatation_v8_medium_train_250 gun, knife, wrench Detection preview by Segmentation_V11_large_300_train_300 gun, knife, wrench Detection preview by Segmentation_v8_large_300_train_300
Original Image: P00618.jpg
GT: knife
knife Detection preview by Box_v11_medium_train_SIXray_OPIXray No objects detected Detection preview by DN_Medium_300_yolov8m_20t7_new knife Detection preview by Segmentatation_v8_medium_train_250 knife Detection preview by Segmentation_V11_large_300_train_300 knife Detection preview by Segmentation_v8_large_300_train_300
Original Image: P00619.jpg
GT: gun, knife, wrench
gun, knife, wrench Detection preview by Box_v11_medium_train_SIXray_OPIXray No objects detected Detection preview by DN_Medium_300_yolov8m_20t7_new gun, knife, wrench Detection preview by Segmentatation_v8_medium_train_250 gun, knife, wrench Detection preview by Segmentation_V11_large_300_train_300 gun, knife, wrench Detection preview by Segmentation_v8_large_300_train_300
Original Image: P00620.jpg
GT: knife
knife Detection preview by Box_v11_medium_train_SIXray_OPIXray No objects detected Detection preview by DN_Medium_300_yolov8m_20t7_new knife Detection preview by Segmentatation_v8_medium_train_250 knife Detection preview by Segmentation_V11_large_300_train_300 knife Detection preview by Segmentation_v8_large_300_train_300
Original Image: P00621.jpg
GT: gun, knife, wrench
gun, knife, wrench Detection preview by Box_v11_medium_train_SIXray_OPIXray No objects detected Detection preview by DN_Medium_300_yolov8m_20t7_new gun, knife, wrench Detection preview by Segmentatation_v8_medium_train_250 gun, knife, wrench Detection preview by Segmentation_V11_large_300_train_300 gun, knife, wrench Detection preview by Segmentation_v8_large_300_train_300
Original Image: P00622.jpg
GT: knife
knife Detection preview by Box_v11_medium_train_SIXray_OPIXray No objects detected Detection preview by DN_Medium_300_yolov8m_20t7_new knife Detection preview by Segmentatation_v8_medium_train_250 knife Detection preview by Segmentation_V11_large_300_train_300 knife Detection preview by Segmentation_v8_large_300_train_300
Original Image: P00623.jpg
GT: gun, knife, wrench
gun, knife, wrench Detection preview by Box_v11_medium_train_SIXray_OPIXray No objects detected Detection preview by DN_Medium_300_yolov8m_20t7_new gun, knife, wrench Detection preview by Segmentatation_v8_medium_train_250 gun, knife, wrench Detection preview by Segmentation_V11_large_300_train_300 gun, knife, wrench Detection preview by Segmentation_v8_large_300_train_300
Original Image: P00624.jpg
GT: knife
knife Detection preview by Box_v11_medium_train_SIXray_OPIXray No objects detected Detection preview by DN_Medium_300_yolov8m_20t7_new knife Detection preview by Segmentatation_v8_medium_train_250 knife Detection preview by Segmentation_V11_large_300_train_300 knife Detection preview by Segmentation_v8_large_300_train_300
Original Image: P00625.jpg
GT: gun, knife, wrench
gun, knife, wrench Detection preview by Box_v11_medium_train_SIXray_OPIXray No objects detected Detection preview by DN_Medium_300_yolov8m_20t7_new gun, knife, wrench Detection preview by Segmentatation_v8_medium_train_250 gun, knife, wrench Detection preview by Segmentation_V11_large_300_train_300 gun, knife, wrench Detection preview by Segmentation_v8_large_300_train_300
Original Image: P00626.jpg
GT: knife
knife Detection preview by Box_v11_medium_train_SIXray_OPIXray No objects detected Detection preview by DN_Medium_300_yolov8m_20t7_new knife Detection preview by Segmentatation_v8_medium_train_250 knife Detection preview by Segmentation_V11_large_300_train_300 knife Detection preview by Segmentation_v8_large_300_train_300
Original Image: P00627.jpg
GT: gun, knife, wrench
gun, knife, wrench Detection preview by Box_v11_medium_train_SIXray_OPIXray No objects detected Detection preview by DN_Medium_300_yolov8m_20t7_new gun, knife, wrench Detection preview by Segmentatation_v8_medium_train_250 gun, knife, wrench Detection preview by Segmentation_V11_large_300_train_300 gun, knife, wrench Detection preview by Segmentation_v8_large_300_train_300
Original Image: P00628.jpg
GT: knife
knife Detection preview by Box_v11_medium_train_SIXray_OPIXray No objects detected Detection preview by DN_Medium_300_yolov8m_20t7_new knife Detection preview by Segmentatation_v8_medium_train_250 knife Detection preview by Segmentation_V11_large_300_train_300 knife Detection preview by Segmentation_v8_large_300_train_300
Original Image: P00629.jpg
GT: gun, knife, wrench
gun, knife, wrench Detection preview by Box_v11_medium_train_SIXray_OPIXray No objects detected Detection preview by DN_Medium_300_yolov8m_20t7_new gun, knife, wrench Detection preview by Segmentatation_v8_medium_train_250 gun, knife, wrench Detection preview by Segmentation_V11_large_300_train_300 gun, knife, wrench Detection preview by Segmentation_v8_large_300_train_300
Original Image: P00630.jpg
GT: knife
knife Detection preview by Box_v11_medium_train_SIXray_OPIXray No objects detected Detection preview by DN_Medium_300_yolov8m_20t7_new knife Detection preview by Segmentatation_v8_medium_train_250 knife Detection preview by Segmentation_V11_large_300_train_300 knife Detection preview by Segmentation_v8_large_300_train_300
Original Image: P00631.jpg
GT: gun, knife, wrench
gun, knife, wrench Detection preview by Box_v11_medium_train_SIXray_OPIXray No objects detected Detection preview by DN_Medium_300_yolov8m_20t7_new gun, knife, wrench Detection preview by Segmentatation_v8_medium_train_250 gun, knife, wrench Detection preview by Segmentation_V11_large_300_train_300 gun, knife, wrench Detection preview by Segmentation_v8_large_300_train_300
Original Image: P00632.jpg
GT: gun, knife, wrench
gun, knife, wrench Detection preview by Box_v11_medium_train_SIXray_OPIXray No objects detected Detection preview by DN_Medium_300_yolov8m_20t7_new gun, knife, wrench Detection preview by Segmentatation_v8_medium_train_250 gun, knife, wrench Detection preview by Segmentation_V11_large_300_train_300 gun, knife, wrench Detection preview by Segmentation_v8_large_300_train_300
Original Image: P00633.jpg
GT: knife
knife Detection preview by Box_v11_medium_train_SIXray_OPIXray No objects detected Detection preview by DN_Medium_300_yolov8m_20t7_new knife Detection preview by Segmentatation_v8_medium_train_250 knife Detection preview by Segmentation_V11_large_300_train_300 knife Detection preview by Segmentation_v8_large_300_train_300
Original Image: P00634.jpg
GT: gun, knife, wrench
gun, knife, wrench Detection preview by Box_v11_medium_train_SIXray_OPIXray No objects detected Detection preview by DN_Medium_300_yolov8m_20t7_new gun, knife, wrench Detection preview by Segmentatation_v8_medium_train_250 knife, wrench Detection preview by Segmentation_V11_large_300_train_300 gun, knife, wrench Detection preview by Segmentation_v8_large_300_train_300
Original Image: P00635.jpg
GT: knife
knife Detection preview by Box_v11_medium_train_SIXray_OPIXray No objects detected Detection preview by DN_Medium_300_yolov8m_20t7_new knife Detection preview by Segmentatation_v8_medium_train_250 knife Detection preview by Segmentation_V11_large_300_train_300 knife Detection preview by Segmentation_v8_large_300_train_300
Original Image: P00636.jpg
GT: gun, knife, wrench
gun, knife, wrench Detection preview by Box_v11_medium_train_SIXray_OPIXray No objects detected Detection preview by DN_Medium_300_yolov8m_20t7_new knife, wrench Detection preview by Segmentatation_v8_medium_train_250 knife, scissor, wrench Detection preview by Segmentation_V11_large_300_train_300 knife, wrench Detection preview by Segmentation_v8_large_300_train_300
Original Image: P00637.jpg
GT: knife
knife Detection preview by Box_v11_medium_train_SIXray_OPIXray No objects detected Detection preview by DN_Medium_300_yolov8m_20t7_new knife Detection preview by Segmentatation_v8_medium_train_250 knife Detection preview by Segmentation_V11_large_300_train_300 knife Detection preview by Segmentation_v8_large_300_train_300
Original Image: P00638.jpg
GT: gun, knife, wrench
gun, knife, wrench Detection preview by Box_v11_medium_train_SIXray_OPIXray No objects detected Detection preview by DN_Medium_300_yolov8m_20t7_new knife, scissor, wrench Detection preview by Segmentatation_v8_medium_train_250 knife, scissor, wrench Detection preview by Segmentation_V11_large_300_train_300 knife, scissor, wrench Detection preview by Segmentation_v8_large_300_train_300
Original Image: P00639.jpg
GT: knife
knife Detection preview by Box_v11_medium_train_SIXray_OPIXray No objects detected Detection preview by DN_Medium_300_yolov8m_20t7_new knife Detection preview by Segmentatation_v8_medium_train_250 knife Detection preview by Segmentation_V11_large_300_train_300 knife Detection preview by Segmentation_v8_large_300_train_300
Original Image: P00640.jpg
GT: gun, knife, wrench
gun, knife, wrench Detection preview by Box_v11_medium_train_SIXray_OPIXray No objects detected Detection preview by DN_Medium_300_yolov8m_20t7_new knife, wrench Detection preview by Segmentatation_v8_medium_train_250 gun, knife, wrench Detection preview by Segmentation_V11_large_300_train_300 gun, knife, wrench Detection preview by Segmentation_v8_large_300_train_300
Original Image: P00641.jpg
GT: knife
knife Detection preview by Box_v11_medium_train_SIXray_OPIXray No objects detected Detection preview by DN_Medium_300_yolov8m_20t7_new knife Detection preview by Segmentatation_v8_medium_train_250 knife Detection preview by Segmentation_V11_large_300_train_300 knife Detection preview by Segmentation_v8_large_300_train_300
Original Image: P00642.jpg
GT: gun, knife, wrench
gun, knife, wrench Detection preview by Box_v11_medium_train_SIXray_OPIXray No objects detected Detection preview by DN_Medium_300_yolov8m_20t7_new gun, wrench Detection preview by Segmentatation_v8_medium_train_250 gun, knife, wrench Detection preview by Segmentation_V11_large_300_train_300 gun, knife, wrench Detection preview by Segmentation_v8_large_300_train_300
Original Image: P00643.jpg
GT: knife
knife Detection preview by Box_v11_medium_train_SIXray_OPIXray No objects detected Detection preview by DN_Medium_300_yolov8m_20t7_new knife Detection preview by Segmentatation_v8_medium_train_250 knife Detection preview by Segmentation_V11_large_300_train_300 knife Detection preview by Segmentation_v8_large_300_train_300
Original Image: P00644.jpg
GT: gun, knife, wrench
gun, knife, wrench Detection preview by Box_v11_medium_train_SIXray_OPIXray No objects detected Detection preview by DN_Medium_300_yolov8m_20t7_new knife, wrench Detection preview by Segmentatation_v8_medium_train_250 gun, knife, wrench Detection preview by Segmentation_V11_large_300_train_300 gun, knife, wrench Detection preview by Segmentation_v8_large_300_train_300
Original Image: P00645.jpg
GT: knife
knife Detection preview by Box_v11_medium_train_SIXray_OPIXray No objects detected Detection preview by DN_Medium_300_yolov8m_20t7_new knife Detection preview by Segmentatation_v8_medium_train_250 knife Detection preview by Segmentation_V11_large_300_train_300 knife Detection preview by Segmentation_v8_large_300_train_300
Original Image: P00646.jpg
GT: gun, knife, wrench
gun, knife, wrench Detection preview by Box_v11_medium_train_SIXray_OPIXray No objects detected Detection preview by DN_Medium_300_yolov8m_20t7_new gun, knife, wrench Detection preview by Segmentatation_v8_medium_train_250 gun, knife, wrench Detection preview by Segmentation_V11_large_300_train_300 gun, knife, wrench Detection preview by Segmentation_v8_large_300_train_300
Original Image: P00647.jpg
GT: knife
knife Detection preview by Box_v11_medium_train_SIXray_OPIXray No objects detected Detection preview by DN_Medium_300_yolov8m_20t7_new knife Detection preview by Segmentatation_v8_medium_train_250 knife Detection preview by Segmentation_V11_large_300_train_300 knife Detection preview by Segmentation_v8_large_300_train_300
Original Image: P00648.jpg
GT: gun, knife, wrench
gun, knife, wrench Detection preview by Box_v11_medium_train_SIXray_OPIXray No objects detected Detection preview by DN_Medium_300_yolov8m_20t7_new gun, knife, wrench Detection preview by Segmentatation_v8_medium_train_250 gun, knife, wrench Detection preview by Segmentation_V11_large_300_train_300 gun, knife, wrench Detection preview by Segmentation_v8_large_300_train_300
Original Image: P00649.jpg
GT: knife
knife Detection preview by Box_v11_medium_train_SIXray_OPIXray No objects detected Detection preview by DN_Medium_300_yolov8m_20t7_new knife Detection preview by Segmentatation_v8_medium_train_250 knife Detection preview by Segmentation_V11_large_300_train_300 knife Detection preview by Segmentation_v8_large_300_train_300
Original Image: P00650.jpg
GT: gun, knife, wrench
gun, knife, wrench Detection preview by Box_v11_medium_train_SIXray_OPIXray No objects detected Detection preview by DN_Medium_300_yolov8m_20t7_new gun, knife, scissor, wrench Detection preview by Segmentatation_v8_medium_train_250 gun, knife, scissor, wrench Detection preview by Segmentation_V11_large_300_train_300 gun, knife, scissor, wrench Detection preview by Segmentation_v8_large_300_train_300
Original Image: P00651.jpg
GT: knife
knife Detection preview by Box_v11_medium_train_SIXray_OPIXray No objects detected Detection preview by DN_Medium_300_yolov8m_20t7_new knife Detection preview by Segmentatation_v8_medium_train_250 knife Detection preview by Segmentation_V11_large_300_train_300 knife Detection preview by Segmentation_v8_large_300_train_300
Original Image: P00652.jpg
GT: gun, knife, wrench
gun, knife, wrench Detection preview by Box_v11_medium_train_SIXray_OPIXray No objects detected Detection preview by DN_Medium_300_yolov8m_20t7_new gun, knife, scissor, wrench Detection preview by Segmentatation_v8_medium_train_250 gun, knife, scissor, wrench Detection preview by Segmentation_V11_large_300_train_300 gun, knife, scissor, wrench Detection preview by Segmentation_v8_large_300_train_300
Original Image: P00653.jpg
GT: knife
knife Detection preview by Box_v11_medium_train_SIXray_OPIXray No objects detected Detection preview by DN_Medium_300_yolov8m_20t7_new knife Detection preview by Segmentatation_v8_medium_train_250 knife Detection preview by Segmentation_V11_large_300_train_300 knife Detection preview by Segmentation_v8_large_300_train_300
Original Image: P00654.jpg
GT: gun, knife, wrench
gun, knife, scissor, wrench Detection preview by Box_v11_medium_train_SIXray_OPIXray No objects detected Detection preview by DN_Medium_300_yolov8m_20t7_new gun, knife, wrench Detection preview by Segmentatation_v8_medium_train_250 knife, wrench Detection preview by Segmentation_V11_large_300_train_300 gun, knife, wrench Detection preview by Segmentation_v8_large_300_train_300
Original Image: P00655.jpg
GT: knife
knife Detection preview by Box_v11_medium_train_SIXray_OPIXray No objects detected Detection preview by DN_Medium_300_yolov8m_20t7_new knife Detection preview by Segmentatation_v8_medium_train_250 knife Detection preview by Segmentation_V11_large_300_train_300 knife Detection preview by Segmentation_v8_large_300_train_300
Original Image: P00656.jpg
GT: gun, knife, wrench
gun, knife, wrench Detection preview by Box_v11_medium_train_SIXray_OPIXray No objects detected Detection preview by DN_Medium_300_yolov8m_20t7_new gun, knife, scissor, wrench Detection preview by Segmentatation_v8_medium_train_250 gun, knife, scissor, wrench Detection preview by Segmentation_V11_large_300_train_300 gun, knife, scissor, wrench Detection preview by Segmentation_v8_large_300_train_300
Original Image: P00657.jpg
GT: knife
knife Detection preview by Box_v11_medium_train_SIXray_OPIXray No objects detected Detection preview by DN_Medium_300_yolov8m_20t7_new knife Detection preview by Segmentatation_v8_medium_train_250 knife Detection preview by Segmentation_V11_large_300_train_300 knife Detection preview by Segmentation_v8_large_300_train_300
Original Image: P00658.jpg
GT: gun, knife, wrench
gun, knife, wrench Detection preview by Box_v11_medium_train_SIXray_OPIXray No objects detected Detection preview by DN_Medium_300_yolov8m_20t7_new knife, wrench Detection preview by Segmentatation_v8_medium_train_250 knife, wrench Detection preview by Segmentation_V11_large_300_train_300 knife, wrench Detection preview by Segmentation_v8_large_300_train_300
Original Image: P00659.jpg
GT: knife
knife Detection preview by Box_v11_medium_train_SIXray_OPIXray No objects detected Detection preview by DN_Medium_300_yolov8m_20t7_new knife Detection preview by Segmentatation_v8_medium_train_250 knife Detection preview by Segmentation_V11_large_300_train_300 knife Detection preview by Segmentation_v8_large_300_train_300
Original Image: P00660.jpg
GT: gun, knife, wrench
gun, knife, wrench Detection preview by Box_v11_medium_train_SIXray_OPIXray No objects detected Detection preview by DN_Medium_300_yolov8m_20t7_new gun, knife, scissor, wrench Detection preview by Segmentatation_v8_medium_train_250 gun, knife, scissor, wrench Detection preview by Segmentation_V11_large_300_train_300 gun, knife, scissor, wrench Detection preview by Segmentation_v8_large_300_train_300
Original Image: P00661.jpg
GT: knife
knife Detection preview by Box_v11_medium_train_SIXray_OPIXray No objects detected Detection preview by DN_Medium_300_yolov8m_20t7_new knife Detection preview by Segmentatation_v8_medium_train_250 knife Detection preview by Segmentation_V11_large_300_train_300 knife Detection preview by Segmentation_v8_large_300_train_300
Original Image: P00662.jpg
GT: gun, knife, wrench
gun, knife, wrench Detection preview by Box_v11_medium_train_SIXray_OPIXray No objects detected Detection preview by DN_Medium_300_yolov8m_20t7_new gun, knife, scissor, wrench Detection preview by Segmentatation_v8_medium_train_250 gun, knife, scissor, wrench Detection preview by Segmentation_V11_large_300_train_300 gun, knife, scissor, wrench Detection preview by Segmentation_v8_large_300_train_300
Original Image: P00663.jpg
GT: knife
knife Detection preview by Box_v11_medium_train_SIXray_OPIXray No objects detected Detection preview by DN_Medium_300_yolov8m_20t7_new knife Detection preview by Segmentatation_v8_medium_train_250 knife Detection preview by Segmentation_V11_large_300_train_300 knife Detection preview by Segmentation_v8_large_300_train_300
Original Image: P00664.jpg
GT: gun, knife, wrench
gun, knife, wrench Detection preview by Box_v11_medium_train_SIXray_OPIXray No objects detected Detection preview by DN_Medium_300_yolov8m_20t7_new gun, knife, scissor, wrench Detection preview by Segmentatation_v8_medium_train_250 gun, knife, scissor, wrench Detection preview by Segmentation_V11_large_300_train_300 gun, knife, scissor, wrench Detection preview by Segmentation_v8_large_300_train_300
Original Image: P00665.jpg
GT: knife
knife Detection preview by Box_v11_medium_train_SIXray_OPIXray No objects detected Detection preview by DN_Medium_300_yolov8m_20t7_new knife Detection preview by Segmentatation_v8_medium_train_250 knife Detection preview by Segmentation_V11_large_300_train_300 knife Detection preview by Segmentation_v8_large_300_train_300
Original Image: P00666.jpg
GT: knife, wrench
knife, scissor, wrench Detection preview by Box_v11_medium_train_SIXray_OPIXray No objects detected Detection preview by DN_Medium_300_yolov8m_20t7_new gun, knife, scissor, wrench Detection preview by Segmentatation_v8_medium_train_250 gun, knife, scissor, wrench Detection preview by Segmentation_V11_large_300_train_300 gun, knife, scissor, wrench Detection preview by Segmentation_v8_large_300_train_300
Original Image: P00667.jpg
GT: knife
knife Detection preview by Box_v11_medium_train_SIXray_OPIXray No objects detected Detection preview by DN_Medium_300_yolov8m_20t7_new knife Detection preview by Segmentatation_v8_medium_train_250 knife Detection preview by Segmentation_V11_large_300_train_300 knife Detection preview by Segmentation_v8_large_300_train_300
Original Image: P00668.jpg
GT: gun, knife, wrench
gun, knife, wrench Detection preview by Box_v11_medium_train_SIXray_OPIXray scissor Detection preview by DN_Medium_300_yolov8m_20t7_new gun, knife, scissor, wrench Detection preview by Segmentatation_v8_medium_train_250 gun, knife, scissor, wrench Detection preview by Segmentation_V11_large_300_train_300 gun, knife, scissor, wrench Detection preview by Segmentation_v8_large_300_train_300
Original Image: P00669.jpg
GT: knife
knife Detection preview by Box_v11_medium_train_SIXray_OPIXray No objects detected Detection preview by DN_Medium_300_yolov8m_20t7_new knife Detection preview by Segmentatation_v8_medium_train_250 knife Detection preview by Segmentation_V11_large_300_train_300 knife Detection preview by Segmentation_v8_large_300_train_300
Original Image: P00670.jpg
GT: gun, knife, wrench
gun, knife, scissor, wrench Detection preview by Box_v11_medium_train_SIXray_OPIXray No objects detected Detection preview by DN_Medium_300_yolov8m_20t7_new gun, knife, scissor, wrench Detection preview by Segmentatation_v8_medium_train_250 gun, knife, scissor, wrench Detection preview by Segmentation_V11_large_300_train_300 gun, knife, scissor, wrench Detection preview by Segmentation_v8_large_300_train_300
Original Image: P00671.jpg
GT: knife
knife Detection preview by Box_v11_medium_train_SIXray_OPIXray No objects detected Detection preview by DN_Medium_300_yolov8m_20t7_new knife Detection preview by Segmentatation_v8_medium_train_250 knife Detection preview by Segmentation_V11_large_300_train_300 knife Detection preview by Segmentation_v8_large_300_train_300
Original Image: P00672.jpg
GT: gun, knife, wrench
gun, knife, scissor, wrench Detection preview by Box_v11_medium_train_SIXray_OPIXray No objects detected Detection preview by DN_Medium_300_yolov8m_20t7_new gun, knife, scissor, wrench Detection preview by Segmentatation_v8_medium_train_250 gun, knife, scissor, wrench Detection preview by Segmentation_V11_large_300_train_300 gun, knife, scissor, wrench Detection preview by Segmentation_v8_large_300_train_300
Original Image: P00673.jpg
GT: gun
gun, knife Detection preview by Box_v11_medium_train_SIXray_OPIXray No objects detected Detection preview by DN_Medium_300_yolov8m_20t7_new knife Detection preview by Segmentatation_v8_medium_train_250 knife Detection preview by Segmentation_V11_large_300_train_300 knife Detection preview by Segmentation_v8_large_300_train_300
Original Image: P00674.jpg
GT: gun, knife, wrench
gun, knife, scissor, wrench Detection preview by Box_v11_medium_train_SIXray_OPIXray No objects detected Detection preview by DN_Medium_300_yolov8m_20t7_new gun, knife, scissor, wrench Detection preview by Segmentatation_v8_medium_train_250 gun, knife, scissor, wrench Detection preview by Segmentation_V11_large_300_train_300 gun, knife, scissor, wrench Detection preview by Segmentation_v8_large_300_train_300
Original Image: P00675.jpg
GT: gun
gun, knife Detection preview by Box_v11_medium_train_SIXray_OPIXray No objects detected Detection preview by DN_Medium_300_yolov8m_20t7_new knife Detection preview by Segmentatation_v8_medium_train_250 knife Detection preview by Segmentation_V11_large_300_train_300 knife Detection preview by Segmentation_v8_large_300_train_300
Original Image: P00676.jpg
GT: gun, knife, wrench
gun, knife, scissor, wrench Detection preview by Box_v11_medium_train_SIXray_OPIXray scissor Detection preview by DN_Medium_300_yolov8m_20t7_new gun, knife, scissor, wrench Detection preview by Segmentatation_v8_medium_train_250 gun, knife, scissor, wrench Detection preview by Segmentation_V11_large_300_train_300 gun, knife, scissor, wrench Detection preview by Segmentation_v8_large_300_train_300
Original Image: P00677.jpg
GT: knife
knife Detection preview by Box_v11_medium_train_SIXray_OPIXray No objects detected Detection preview by DN_Medium_300_yolov8m_20t7_new knife Detection preview by Segmentatation_v8_medium_train_250 knife Detection preview by Segmentation_V11_large_300_train_300 knife Detection preview by Segmentation_v8_large_300_train_300
Original Image: P00678.jpg
GT: gun, knife, wrench
gun, knife, wrench Detection preview by Box_v11_medium_train_SIXray_OPIXray No objects detected Detection preview by DN_Medium_300_yolov8m_20t7_new gun, knife, scissor, wrench Detection preview by Segmentatation_v8_medium_train_250 gun, knife, scissor, wrench Detection preview by Segmentation_V11_large_300_train_300 gun, knife, scissor, wrench Detection preview by Segmentation_v8_large_300_train_300
Original Image: P00679.jpg
GT: knife
knife Detection preview by Box_v11_medium_train_SIXray_OPIXray No objects detected Detection preview by DN_Medium_300_yolov8m_20t7_new knife Detection preview by Segmentatation_v8_medium_train_250 knife Detection preview by Segmentation_V11_large_300_train_300 knife Detection preview by Segmentation_v8_large_300_train_300
Original Image: P00680.jpg
GT: gun, knife, wrench
gun, knife, scissor, wrench Detection preview by Box_v11_medium_train_SIXray_OPIXray No objects detected Detection preview by DN_Medium_300_yolov8m_20t7_new gun, knife, scissor, wrench Detection preview by Segmentatation_v8_medium_train_250 gun, knife, scissor, wrench Detection preview by Segmentation_V11_large_300_train_300 gun, knife, scissor, wrench Detection preview by Segmentation_v8_large_300_train_300
Original Image: P00681.jpg
GT: knife
knife Detection preview by Box_v11_medium_train_SIXray_OPIXray No objects detected Detection preview by DN_Medium_300_yolov8m_20t7_new knife Detection preview by Segmentatation_v8_medium_train_250 knife Detection preview by Segmentation_V11_large_300_train_300 knife Detection preview by Segmentation_v8_large_300_train_300
Original Image: P00682.jpg
GT: gun, knife, wrench
gun, knife, wrench Detection preview by Box_v11_medium_train_SIXray_OPIXray scissor Detection preview by DN_Medium_300_yolov8m_20t7_new gun, knife, scissor, wrench Detection preview by Segmentatation_v8_medium_train_250 gun, knife, scissor, wrench Detection preview by Segmentation_V11_large_300_train_300 gun, knife, scissor, wrench Detection preview by Segmentation_v8_large_300_train_300
Original Image: P00683.jpg
GT: knife
knife Detection preview by Box_v11_medium_train_SIXray_OPIXray No objects detected Detection preview by DN_Medium_300_yolov8m_20t7_new knife Detection preview by Segmentatation_v8_medium_train_250 knife Detection preview by Segmentation_V11_large_300_train_300 knife Detection preview by Segmentation_v8_large_300_train_300
Original Image: P00684.jpg
GT: gun, knife, wrench
gun, knife, scissor, wrench Detection preview by Box_v11_medium_train_SIXray_OPIXray No objects detected Detection preview by DN_Medium_300_yolov8m_20t7_new gun, knife, scissor, wrench Detection preview by Segmentatation_v8_medium_train_250 gun, knife, scissor, wrench Detection preview by Segmentation_V11_large_300_train_300 gun, knife, scissor, wrench Detection preview by Segmentation_v8_large_300_train_300
Original Image: P00685.jpg
GT: gun, knife, wrench
gun, knife, wrench Detection preview by Box_v11_medium_train_SIXray_OPIXray No objects detected Detection preview by DN_Medium_300_yolov8m_20t7_new gun, knife, wrench Detection preview by Segmentatation_v8_medium_train_250 gun, knife, wrench Detection preview by Segmentation_V11_large_300_train_300 gun, knife, wrench Detection preview by Segmentation_v8_large_300_train_300
Original Image: P00686.jpg
GT: knife
knife Detection preview by Box_v11_medium_train_SIXray_OPIXray No objects detected Detection preview by DN_Medium_300_yolov8m_20t7_new knife Detection preview by Segmentatation_v8_medium_train_250 knife Detection preview by Segmentation_V11_large_300_train_300 knife Detection preview by Segmentation_v8_large_300_train_300
Original Image: P00687.jpg
GT: gun, knife, wrench
gun, knife, scissor, wrench Detection preview by Box_v11_medium_train_SIXray_OPIXray scissor Detection preview by DN_Medium_300_yolov8m_20t7_new gun, knife, scissor, wrench Detection preview by Segmentatation_v8_medium_train_250 gun, knife, scissor, wrench Detection preview by Segmentation_V11_large_300_train_300 gun, knife, scissor, wrench Detection preview by Segmentation_v8_large_300_train_300
Original Image: P00688.jpg
GT: knife
knife Detection preview by Box_v11_medium_train_SIXray_OPIXray No objects detected Detection preview by DN_Medium_300_yolov8m_20t7_new knife Detection preview by Segmentatation_v8_medium_train_250 knife Detection preview by Segmentation_V11_large_300_train_300 knife Detection preview by Segmentation_v8_large_300_train_300
Original Image: P00689.jpg
GT: gun, knife, wrench
gun, knife, scissor, wrench Detection preview by Box_v11_medium_train_SIXray_OPIXray No objects detected Detection preview by DN_Medium_300_yolov8m_20t7_new gun, knife, scissor, wrench Detection preview by Segmentatation_v8_medium_train_250 gun, knife, scissor Detection preview by Segmentation_V11_large_300_train_300 gun, knife, scissor, wrench Detection preview by Segmentation_v8_large_300_train_300
Original Image: P00690.jpg
GT: knife
knife Detection preview by Box_v11_medium_train_SIXray_OPIXray No objects detected Detection preview by DN_Medium_300_yolov8m_20t7_new knife Detection preview by Segmentatation_v8_medium_train_250 knife Detection preview by Segmentation_V11_large_300_train_300 knife Detection preview by Segmentation_v8_large_300_train_300
Original Image: P00691.jpg
GT: gun, knife, wrench
gun, knife, wrench Detection preview by Box_v11_medium_train_SIXray_OPIXray No objects detected Detection preview by DN_Medium_300_yolov8m_20t7_new gun, knife, scissor, wrench Detection preview by Segmentatation_v8_medium_train_250 gun, knife, scissor, wrench Detection preview by Segmentation_V11_large_300_train_300 gun, knife, scissor, wrench Detection preview by Segmentation_v8_large_300_train_300
Original Image: P00692.jpg
GT: knife
knife Detection preview by Box_v11_medium_train_SIXray_OPIXray No objects detected Detection preview by DN_Medium_300_yolov8m_20t7_new knife Detection preview by Segmentatation_v8_medium_train_250 knife Detection preview by Segmentation_V11_large_300_train_300 knife Detection preview by Segmentation_v8_large_300_train_300
Original Image: P00693.jpg
GT: gun, knife, wrench
gun, knife, wrench Detection preview by Box_v11_medium_train_SIXray_OPIXray No objects detected Detection preview by DN_Medium_300_yolov8m_20t7_new gun, knife, scissor, wrench Detection preview by Segmentatation_v8_medium_train_250 gun, knife, scissor, wrench Detection preview by Segmentation_V11_large_300_train_300 gun, knife, scissor, wrench Detection preview by Segmentation_v8_large_300_train_300
Original Image: P00694.jpg
GT: knife
knife Detection preview by Box_v11_medium_train_SIXray_OPIXray No objects detected Detection preview by DN_Medium_300_yolov8m_20t7_new knife Detection preview by Segmentatation_v8_medium_train_250 knife Detection preview by Segmentation_V11_large_300_train_300 knife Detection preview by Segmentation_v8_large_300_train_300
Original Image: P00695.jpg
GT: gun, knife, wrench
gun, knife, wrench Detection preview by Box_v11_medium_train_SIXray_OPIXray No objects detected Detection preview by DN_Medium_300_yolov8m_20t7_new gun, knife, scissor, wrench Detection preview by Segmentatation_v8_medium_train_250 gun, knife, scissor, wrench Detection preview by Segmentation_V11_large_300_train_300 gun, knife, scissor, wrench Detection preview by Segmentation_v8_large_300_train_300
Original Image: P00696.jpg
GT: knife
knife Detection preview by Box_v11_medium_train_SIXray_OPIXray No objects detected Detection preview by DN_Medium_300_yolov8m_20t7_new knife Detection preview by Segmentatation_v8_medium_train_250 knife Detection preview by Segmentation_V11_large_300_train_300 knife Detection preview by Segmentation_v8_large_300_train_300
Original Image: P00697.jpg
GT: gun, knife, wrench
gun, knife, scissor, wrench Detection preview by Box_v11_medium_train_SIXray_OPIXray No objects detected Detection preview by DN_Medium_300_yolov8m_20t7_new gun, knife, scissor, wrench Detection preview by Segmentatation_v8_medium_train_250 gun, knife, scissor, wrench Detection preview by Segmentation_V11_large_300_train_300 gun, knife, scissor, wrench Detection preview by Segmentation_v8_large_300_train_300
Original Image: P00698.jpg
GT: knife
knife Detection preview by Box_v11_medium_train_SIXray_OPIXray No objects detected Detection preview by DN_Medium_300_yolov8m_20t7_new knife Detection preview by Segmentatation_v8_medium_train_250 knife Detection preview by Segmentation_V11_large_300_train_300 knife Detection preview by Segmentation_v8_large_300_train_300
Original Image: P00699.jpg
GT: gun, knife, wrench
gun, knife, scissor, wrench Detection preview by Box_v11_medium_train_SIXray_OPIXray No objects detected Detection preview by DN_Medium_300_yolov8m_20t7_new gun, knife, scissor, wrench Detection preview by Segmentatation_v8_medium_train_250 gun, knife, scissor, wrench Detection preview by Segmentation_V11_large_300_train_300 gun, knife, scissor, wrench Detection preview by Segmentation_v8_large_300_train_300
Original Image: P00700.jpg
GT: knife
knife Detection preview by Box_v11_medium_train_SIXray_OPIXray No objects detected Detection preview by DN_Medium_300_yolov8m_20t7_new knife Detection preview by Segmentatation_v8_medium_train_250 knife Detection preview by Segmentation_V11_large_300_train_300 knife Detection preview by Segmentation_v8_large_300_train_300
Original Image: P00701.jpg
GT: gun, knife, wrench
gun, knife, scissor, wrench Detection preview by Box_v11_medium_train_SIXray_OPIXray No objects detected Detection preview by DN_Medium_300_yolov8m_20t7_new gun, knife, scissor, wrench Detection preview by Segmentatation_v8_medium_train_250 gun, knife, scissor, wrench Detection preview by Segmentation_V11_large_300_train_300 gun, knife, scissor, wrench Detection preview by Segmentation_v8_large_300_train_300
Original Image: P00702.jpg
GT: knife
knife Detection preview by Box_v11_medium_train_SIXray_OPIXray No objects detected Detection preview by DN_Medium_300_yolov8m_20t7_new knife Detection preview by Segmentatation_v8_medium_train_250 knife Detection preview by Segmentation_V11_large_300_train_300 knife Detection preview by Segmentation_v8_large_300_train_300
Original Image: P00703.jpg
GT: gun, knife, wrench
gun, knife, scissor, wrench Detection preview by Box_v11_medium_train_SIXray_OPIXray scissor Detection preview by DN_Medium_300_yolov8m_20t7_new gun, knife, scissor, wrench Detection preview by Segmentatation_v8_medium_train_250 gun, knife, scissor, wrench Detection preview by Segmentation_V11_large_300_train_300 gun, knife, scissor, wrench Detection preview by Segmentation_v8_large_300_train_300
Original Image: P00704.jpg
GT: knife
knife Detection preview by Box_v11_medium_train_SIXray_OPIXray No objects detected Detection preview by DN_Medium_300_yolov8m_20t7_new knife Detection preview by Segmentatation_v8_medium_train_250 knife Detection preview by Segmentation_V11_large_300_train_300 knife Detection preview by Segmentation_v8_large_300_train_300
Original Image: P00705.jpg
GT: gun, knife, wrench
gun, knife, scissor, wrench Detection preview by Box_v11_medium_train_SIXray_OPIXray No objects detected Detection preview by DN_Medium_300_yolov8m_20t7_new gun, knife, scissor, wrench Detection preview by Segmentatation_v8_medium_train_250 gun, knife, scissor, wrench Detection preview by Segmentation_V11_large_300_train_300 gun, knife, scissor, wrench Detection preview by Segmentation_v8_large_300_train_300
Original Image: P00706.jpg
GT: knife
knife Detection preview by Box_v11_medium_train_SIXray_OPIXray No objects detected Detection preview by DN_Medium_300_yolov8m_20t7_new knife Detection preview by Segmentatation_v8_medium_train_250 knife Detection preview by Segmentation_V11_large_300_train_300 knife Detection preview by Segmentation_v8_large_300_train_300
Original Image: P00707.jpg
GT: gun, knife, wrench
gun, knife, scissor, wrench Detection preview by Box_v11_medium_train_SIXray_OPIXray No objects detected Detection preview by DN_Medium_300_yolov8m_20t7_new gun, knife, scissor, wrench Detection preview by Segmentatation_v8_medium_train_250 gun, knife, scissor, wrench Detection preview by Segmentation_V11_large_300_train_300 gun, knife, scissor, wrench Detection preview by Segmentation_v8_large_300_train_300
Original Image: P00708.jpg
GT: knife
knife Detection preview by Box_v11_medium_train_SIXray_OPIXray No objects detected Detection preview by DN_Medium_300_yolov8m_20t7_new knife Detection preview by Segmentatation_v8_medium_train_250 knife Detection preview by Segmentation_V11_large_300_train_300 knife Detection preview by Segmentation_v8_large_300_train_300
Original Image: P00709.jpg
GT: gun, knife, wrench
gun, knife, scissor, wrench Detection preview by Box_v11_medium_train_SIXray_OPIXray scissor Detection preview by DN_Medium_300_yolov8m_20t7_new gun, knife, scissor, wrench Detection preview by Segmentatation_v8_medium_train_250 gun, knife, scissor, wrench Detection preview by Segmentation_V11_large_300_train_300 gun, knife, scissor, wrench Detection preview by Segmentation_v8_large_300_train_300
Original Image: P00710.jpg
GT: knife
knife Detection preview by Box_v11_medium_train_SIXray_OPIXray No objects detected Detection preview by DN_Medium_300_yolov8m_20t7_new knife Detection preview by Segmentatation_v8_medium_train_250 knife Detection preview by Segmentation_V11_large_300_train_300 knife Detection preview by Segmentation_v8_large_300_train_300
Original Image: P00711.jpg
GT: gun, knife, wrench
gun, knife, scissor, wrench Detection preview by Box_v11_medium_train_SIXray_OPIXray No objects detected Detection preview by DN_Medium_300_yolov8m_20t7_new gun, knife, scissor, wrench Detection preview by Segmentatation_v8_medium_train_250 gun, knife, scissor, wrench Detection preview by Segmentation_V11_large_300_train_300 gun, knife, scissor, wrench Detection preview by Segmentation_v8_large_300_train_300
Original Image: P00712.jpg
GT: knife
knife Detection preview by Box_v11_medium_train_SIXray_OPIXray No objects detected Detection preview by DN_Medium_300_yolov8m_20t7_new knife Detection preview by Segmentatation_v8_medium_train_250 knife Detection preview by Segmentation_V11_large_300_train_300 knife Detection preview by Segmentation_v8_large_300_train_300
Original Image: P00713.jpg
GT: gun, knife, wrench
gun, knife, scissor, wrench Detection preview by Box_v11_medium_train_SIXray_OPIXray No objects detected Detection preview by DN_Medium_300_yolov8m_20t7_new gun, knife, wrench Detection preview by Segmentatation_v8_medium_train_250 gun, knife, wrench Detection preview by Segmentation_V11_large_300_train_300 gun, knife, wrench Detection preview by Segmentation_v8_large_300_train_300
Original Image: P00714.jpg
GT: knife
knife Detection preview by Box_v11_medium_train_SIXray_OPIXray No objects detected Detection preview by DN_Medium_300_yolov8m_20t7_new knife Detection preview by Segmentatation_v8_medium_train_250 knife Detection preview by Segmentation_V11_large_300_train_300 knife Detection preview by Segmentation_v8_large_300_train_300
Original Image: P00715.jpg
GT: gun, knife, wrench
gun, knife, scissor, wrench Detection preview by Box_v11_medium_train_SIXray_OPIXray No objects detected Detection preview by DN_Medium_300_yolov8m_20t7_new gun, knife, wrench Detection preview by Segmentatation_v8_medium_train_250 gun, knife, wrench Detection preview by Segmentation_V11_large_300_train_300 gun, knife, wrench Detection preview by Segmentation_v8_large_300_train_300
Original Image: P00716.jpg
GT: knife
knife Detection preview by Box_v11_medium_train_SIXray_OPIXray No objects detected Detection preview by DN_Medium_300_yolov8m_20t7_new knife Detection preview by Segmentatation_v8_medium_train_250 knife Detection preview by Segmentation_V11_large_300_train_300 knife Detection preview by Segmentation_v8_large_300_train_300
Original Image: P00717.jpg
GT: gun, knife, wrench
gun, knife, scissor, wrench Detection preview by Box_v11_medium_train_SIXray_OPIXray No objects detected Detection preview by DN_Medium_300_yolov8m_20t7_new gun, knife, wrench Detection preview by Segmentatation_v8_medium_train_250 gun, knife, wrench Detection preview by Segmentation_V11_large_300_train_300 gun, knife, wrench Detection preview by Segmentation_v8_large_300_train_300
Original Image: P00718.jpg
GT: knife
knife Detection preview by Box_v11_medium_train_SIXray_OPIXray No objects detected Detection preview by DN_Medium_300_yolov8m_20t7_new knife Detection preview by Segmentatation_v8_medium_train_250 knife Detection preview by Segmentation_V11_large_300_train_300 knife Detection preview by Segmentation_v8_large_300_train_300
Original Image: P00719.jpg
GT: gun, knife, wrench
gun, knife, scissor, wrench Detection preview by Box_v11_medium_train_SIXray_OPIXray No objects detected Detection preview by DN_Medium_300_yolov8m_20t7_new gun, knife, wrench Detection preview by Segmentatation_v8_medium_train_250 gun, knife, wrench Detection preview by Segmentation_V11_large_300_train_300 gun, knife, wrench Detection preview by Segmentation_v8_large_300_train_300
Original Image: P00720.jpg
GT: knife
knife Detection preview by Box_v11_medium_train_SIXray_OPIXray No objects detected Detection preview by DN_Medium_300_yolov8m_20t7_new knife Detection preview by Segmentatation_v8_medium_train_250 knife Detection preview by Segmentation_V11_large_300_train_300 knife Detection preview by Segmentation_v8_large_300_train_300
Original Image: P00721.jpg
GT: knife
knife Detection preview by Box_v11_medium_train_SIXray_OPIXray No objects detected Detection preview by DN_Medium_300_yolov8m_20t7_new knife Detection preview by Segmentatation_v8_medium_train_250 knife Detection preview by Segmentation_V11_large_300_train_300 knife Detection preview by Segmentation_v8_large_300_train_300
Original Image: P00722.jpg
GT: gun, knife, wrench
gun, knife, scissor, wrench Detection preview by Box_v11_medium_train_SIXray_OPIXray No objects detected Detection preview by DN_Medium_300_yolov8m_20t7_new gun, knife, scissor, wrench Detection preview by Segmentatation_v8_medium_train_250 gun, knife, scissor, wrench Detection preview by Segmentation_V11_large_300_train_300 gun, knife, scissor, wrench Detection preview by Segmentation_v8_large_300_train_300
Original Image: P00723.jpg
GT: knife
knife Detection preview by Box_v11_medium_train_SIXray_OPIXray No objects detected Detection preview by DN_Medium_300_yolov8m_20t7_new knife Detection preview by Segmentatation_v8_medium_train_250 knife Detection preview by Segmentation_V11_large_300_train_300 knife Detection preview by Segmentation_v8_large_300_train_300
Original Image: P00724.jpg
GT: gun, knife, wrench
gun, knife, scissor, wrench Detection preview by Box_v11_medium_train_SIXray_OPIXray No objects detected Detection preview by DN_Medium_300_yolov8m_20t7_new gun, knife, scissor, wrench Detection preview by Segmentatation_v8_medium_train_250 gun, knife, scissor, wrench Detection preview by Segmentation_V11_large_300_train_300 gun, knife, scissor, wrench Detection preview by Segmentation_v8_large_300_train_300
Original Image: P00725.jpg
GT: knife
knife Detection preview by Box_v11_medium_train_SIXray_OPIXray No objects detected Detection preview by DN_Medium_300_yolov8m_20t7_new knife Detection preview by Segmentatation_v8_medium_train_250 knife Detection preview by Segmentation_V11_large_300_train_300 knife Detection preview by Segmentation_v8_large_300_train_300
Original Image: P00726.jpg
GT: gun, knife, wrench
gun, knife, scissor, wrench Detection preview by Box_v11_medium_train_SIXray_OPIXray No objects detected Detection preview by DN_Medium_300_yolov8m_20t7_new gun, knife, scissor, wrench Detection preview by Segmentatation_v8_medium_train_250 gun, knife, scissor, wrench Detection preview by Segmentation_V11_large_300_train_300 gun, knife, scissor, wrench Detection preview by Segmentation_v8_large_300_train_300
Original Image: P00727.jpg
GT: knife
knife Detection preview by Box_v11_medium_train_SIXray_OPIXray No objects detected Detection preview by DN_Medium_300_yolov8m_20t7_new knife Detection preview by Segmentatation_v8_medium_train_250 knife Detection preview by Segmentation_V11_large_300_train_300 knife Detection preview by Segmentation_v8_large_300_train_300
Original Image: P00728.jpg
GT: gun, knife, wrench
gun, knife, scissor, wrench Detection preview by Box_v11_medium_train_SIXray_OPIXray No objects detected Detection preview by DN_Medium_300_yolov8m_20t7_new gun, knife, scissor, wrench Detection preview by Segmentatation_v8_medium_train_250 gun, knife, scissor, wrench Detection preview by Segmentation_V11_large_300_train_300 gun, knife, scissor, wrench Detection preview by Segmentation_v8_large_300_train_300
Original Image: P00729.jpg
GT: knife
knife Detection preview by Box_v11_medium_train_SIXray_OPIXray No objects detected Detection preview by DN_Medium_300_yolov8m_20t7_new knife Detection preview by Segmentatation_v8_medium_train_250 knife Detection preview by Segmentation_V11_large_300_train_300 knife Detection preview by Segmentation_v8_large_300_train_300
Original Image: P00730.jpg
GT: gun, knife, wrench
gun, knife, scissor, wrench Detection preview by Box_v11_medium_train_SIXray_OPIXray No objects detected Detection preview by DN_Medium_300_yolov8m_20t7_new gun, knife, scissor, wrench Detection preview by Segmentatation_v8_medium_train_250 gun, knife, scissor, wrench Detection preview by Segmentation_V11_large_300_train_300 gun, knife, scissor, wrench Detection preview by Segmentation_v8_large_300_train_300
Original Image: P00731.jpg
GT: knife
knife Detection preview by Box_v11_medium_train_SIXray_OPIXray No objects detected Detection preview by DN_Medium_300_yolov8m_20t7_new knife Detection preview by Segmentatation_v8_medium_train_250 knife Detection preview by Segmentation_V11_large_300_train_300 knife Detection preview by Segmentation_v8_large_300_train_300
Original Image: P00732.jpg
GT: gun, knife, wrench
gun, knife, scissor, wrench Detection preview by Box_v11_medium_train_SIXray_OPIXray No objects detected Detection preview by DN_Medium_300_yolov8m_20t7_new gun, knife, scissor, wrench Detection preview by Segmentatation_v8_medium_train_250 gun, knife, scissor, wrench Detection preview by Segmentation_V11_large_300_train_300 gun, knife, scissor, wrench Detection preview by Segmentation_v8_large_300_train_300
Original Image: P00733.jpg
GT: knife
knife Detection preview by Box_v11_medium_train_SIXray_OPIXray No objects detected Detection preview by DN_Medium_300_yolov8m_20t7_new knife Detection preview by Segmentatation_v8_medium_train_250 knife Detection preview by Segmentation_V11_large_300_train_300 knife Detection preview by Segmentation_v8_large_300_train_300
Original Image: P00734.jpg
GT: gun, knife, wrench
gun, knife, scissor, wrench Detection preview by Box_v11_medium_train_SIXray_OPIXray No objects detected Detection preview by DN_Medium_300_yolov8m_20t7_new gun, knife, scissor, wrench Detection preview by Segmentatation_v8_medium_train_250 gun, knife, scissor, wrench Detection preview by Segmentation_V11_large_300_train_300 gun, knife, scissor, wrench Detection preview by Segmentation_v8_large_300_train_300
Original Image: P00735.jpg
GT: knife
knife Detection preview by Box_v11_medium_train_SIXray_OPIXray No objects detected Detection preview by DN_Medium_300_yolov8m_20t7_new knife Detection preview by Segmentatation_v8_medium_train_250 knife Detection preview by Segmentation_V11_large_300_train_300 knife Detection preview by Segmentation_v8_large_300_train_300
Original Image: P00736.jpg
GT: gun, knife, wrench
gun, knife, scissor, wrench Detection preview by Box_v11_medium_train_SIXray_OPIXray No objects detected Detection preview by DN_Medium_300_yolov8m_20t7_new gun, knife, scissor, wrench Detection preview by Segmentatation_v8_medium_train_250 gun, knife, scissor, wrench Detection preview by Segmentation_V11_large_300_train_300 gun, knife, scissor, wrench Detection preview by Segmentation_v8_large_300_train_300
Original Image: P00737.jpg
GT: knife
knife Detection preview by Box_v11_medium_train_SIXray_OPIXray No objects detected Detection preview by DN_Medium_300_yolov8m_20t7_new knife Detection preview by Segmentatation_v8_medium_train_250 knife Detection preview by Segmentation_V11_large_300_train_300 knife Detection preview by Segmentation_v8_large_300_train_300
Original Image: P00738.jpg
GT: knife
knife Detection preview by Box_v11_medium_train_SIXray_OPIXray No objects detected Detection preview by DN_Medium_300_yolov8m_20t7_new knife Detection preview by Segmentatation_v8_medium_train_250 knife Detection preview by Segmentation_V11_large_300_train_300 knife Detection preview by Segmentation_v8_large_300_train_300
Original Image: P00739.jpg
GT: knife
knife Detection preview by Box_v11_medium_train_SIXray_OPIXray No objects detected Detection preview by DN_Medium_300_yolov8m_20t7_new knife Detection preview by Segmentatation_v8_medium_train_250 knife Detection preview by Segmentation_V11_large_300_train_300 knife Detection preview by Segmentation_v8_large_300_train_300
Original Image: P00740.jpg
GT: knife
knife Detection preview by Box_v11_medium_train_SIXray_OPIXray No objects detected Detection preview by DN_Medium_300_yolov8m_20t7_new knife Detection preview by Segmentatation_v8_medium_train_250 knife Detection preview by Segmentation_V11_large_300_train_300 knife Detection preview by Segmentation_v8_large_300_train_300
Original Image: P00741.jpg
GT: knife
knife Detection preview by Box_v11_medium_train_SIXray_OPIXray No objects detected Detection preview by DN_Medium_300_yolov8m_20t7_new knife Detection preview by Segmentatation_v8_medium_train_250 knife Detection preview by Segmentation_V11_large_300_train_300 knife Detection preview by Segmentation_v8_large_300_train_300
Original Image: P00742.jpg
GT: knife, pliers, wrench
knife, pliers, wrench Detection preview by Box_v11_medium_train_SIXray_OPIXray No objects detected Detection preview by DN_Medium_300_yolov8m_20t7_new gun, knife, wrench Detection preview by Segmentatation_v8_medium_train_250 gun, knife, wrench Detection preview by Segmentation_V11_large_300_train_300 gun, knife, wrench Detection preview by Segmentation_v8_large_300_train_300
Original Image: P00743.jpg
GT: knife
knife Detection preview by Box_v11_medium_train_SIXray_OPIXray No objects detected Detection preview by DN_Medium_300_yolov8m_20t7_new knife Detection preview by Segmentatation_v8_medium_train_250 knife Detection preview by Segmentation_V11_large_300_train_300 knife Detection preview by Segmentation_v8_large_300_train_300
Original Image: P00744.jpg
GT: knife
knife Detection preview by Box_v11_medium_train_SIXray_OPIXray No objects detected Detection preview by DN_Medium_300_yolov8m_20t7_new knife Detection preview by Segmentatation_v8_medium_train_250 knife Detection preview by Segmentation_V11_large_300_train_300 knife Detection preview by Segmentation_v8_large_300_train_300
Original Image: P00745.jpg
GT: knife
knife Detection preview by Box_v11_medium_train_SIXray_OPIXray No objects detected Detection preview by DN_Medium_300_yolov8m_20t7_new knife Detection preview by Segmentatation_v8_medium_train_250 knife Detection preview by Segmentation_V11_large_300_train_300 knife Detection preview by Segmentation_v8_large_300_train_300
Original Image: P00746.jpg
GT: gun, knife, pliers, wrench
gun, knife, pliers, wrench Detection preview by Box_v11_medium_train_SIXray_OPIXray No objects detected Detection preview by DN_Medium_300_yolov8m_20t7_new gun, wrench Detection preview by Segmentatation_v8_medium_train_250 gun, knife, wrench Detection preview by Segmentation_V11_large_300_train_300 gun, knife, wrench Detection preview by Segmentation_v8_large_300_train_300
Original Image: P00747.jpg
GT: gun, knife, pliers, wrench
gun, knife, pliers, wrench Detection preview by Box_v11_medium_train_SIXray_OPIXray No objects detected Detection preview by DN_Medium_300_yolov8m_20t7_new gun, knife, wrench Detection preview by Segmentatation_v8_medium_train_250 gun, knife, wrench Detection preview by Segmentation_V11_large_300_train_300 gun, knife, wrench Detection preview by Segmentation_v8_large_300_train_300
Original Image: P00748.jpg
GT: knife
knife Detection preview by Box_v11_medium_train_SIXray_OPIXray No objects detected Detection preview by DN_Medium_300_yolov8m_20t7_new knife Detection preview by Segmentatation_v8_medium_train_250 knife Detection preview by Segmentation_V11_large_300_train_300 knife Detection preview by Segmentation_v8_large_300_train_300
Original Image: P00749.jpg
GT: knife
knife Detection preview by Box_v11_medium_train_SIXray_OPIXray No objects detected Detection preview by DN_Medium_300_yolov8m_20t7_new knife Detection preview by Segmentatation_v8_medium_train_250 knife Detection preview by Segmentation_V11_large_300_train_300 knife Detection preview by Segmentation_v8_large_300_train_300
Original Image: P00750.jpg
GT: gun, knife, pliers, wrench
gun, knife, pliers, wrench Detection preview by Box_v11_medium_train_SIXray_OPIXray No objects detected Detection preview by DN_Medium_300_yolov8m_20t7_new gun, knife, wrench Detection preview by Segmentatation_v8_medium_train_250 gun, knife, wrench Detection preview by Segmentation_V11_large_300_train_300 gun, knife, wrench Detection preview by Segmentation_v8_large_300_train_300
Original Image: P00751.jpg
GT: knife
knife Detection preview by Box_v11_medium_train_SIXray_OPIXray No objects detected Detection preview by DN_Medium_300_yolov8m_20t7_new knife Detection preview by Segmentatation_v8_medium_train_250 knife Detection preview by Segmentation_V11_large_300_train_300 knife Detection preview by Segmentation_v8_large_300_train_300
Original Image: P00752.jpg
GT: gun, knife, pliers, wrench
gun, knife, pliers, wrench Detection preview by Box_v11_medium_train_SIXray_OPIXray No objects detected Detection preview by DN_Medium_300_yolov8m_20t7_new gun, knife, wrench Detection preview by Segmentatation_v8_medium_train_250 gun, knife, wrench Detection preview by Segmentation_V11_large_300_train_300 gun, knife, wrench Detection preview by Segmentation_v8_large_300_train_300
Original Image: P00753.jpg
GT: knife
knife Detection preview by Box_v11_medium_train_SIXray_OPIXray No objects detected Detection preview by DN_Medium_300_yolov8m_20t7_new knife Detection preview by Segmentatation_v8_medium_train_250 knife Detection preview by Segmentation_V11_large_300_train_300 knife Detection preview by Segmentation_v8_large_300_train_300
Original Image: P00754.jpg
GT: gun, knife, pliers, wrench
gun, knife, pliers, wrench Detection preview by Box_v11_medium_train_SIXray_OPIXray No objects detected Detection preview by DN_Medium_300_yolov8m_20t7_new knife, wrench Detection preview by Segmentatation_v8_medium_train_250 knife, wrench Detection preview by Segmentation_V11_large_300_train_300 knife, wrench Detection preview by Segmentation_v8_large_300_train_300
Original Image: P00755.jpg
GT: knife
knife Detection preview by Box_v11_medium_train_SIXray_OPIXray No objects detected Detection preview by DN_Medium_300_yolov8m_20t7_new knife Detection preview by Segmentatation_v8_medium_train_250 knife Detection preview by Segmentation_V11_large_300_train_300 knife Detection preview by Segmentation_v8_large_300_train_300
Original Image: P00756.jpg
GT: gun, knife, pliers, wrench
gun, knife, pliers, wrench Detection preview by Box_v11_medium_train_SIXray_OPIXray pliers Detection preview by DN_Medium_300_yolov8m_20t7_new gun, knife, wrench Detection preview by Segmentatation_v8_medium_train_250 gun, knife, wrench Detection preview by Segmentation_V11_large_300_train_300 gun, knife, wrench Detection preview by Segmentation_v8_large_300_train_300
Original Image: P00757.jpg
GT: knife
knife Detection preview by Box_v11_medium_train_SIXray_OPIXray No objects detected Detection preview by DN_Medium_300_yolov8m_20t7_new knife Detection preview by Segmentatation_v8_medium_train_250 knife Detection preview by Segmentation_V11_large_300_train_300 knife Detection preview by Segmentation_v8_large_300_train_300
Original Image: P00758.jpg
GT: gun, knife, pliers, wrench
gun, knife, pliers, wrench Detection preview by Box_v11_medium_train_SIXray_OPIXray No objects detected Detection preview by DN_Medium_300_yolov8m_20t7_new gun, knife, wrench Detection preview by Segmentatation_v8_medium_train_250 knife, wrench Detection preview by Segmentation_V11_large_300_train_300 knife, wrench Detection preview by Segmentation_v8_large_300_train_300
Original Image: P00759.jpg
GT: knife
knife Detection preview by Box_v11_medium_train_SIXray_OPIXray No objects detected Detection preview by DN_Medium_300_yolov8m_20t7_new knife Detection preview by Segmentatation_v8_medium_train_250 knife Detection preview by Segmentation_V11_large_300_train_300 knife Detection preview by Segmentation_v8_large_300_train_300
Original Image: P00760.jpg
GT: gun, knife, pliers, wrench
gun, knife, pliers, wrench Detection preview by Box_v11_medium_train_SIXray_OPIXray No objects detected Detection preview by DN_Medium_300_yolov8m_20t7_new gun, knife, wrench Detection preview by Segmentatation_v8_medium_train_250 gun, knife, wrench Detection preview by Segmentation_V11_large_300_train_300 gun, knife, wrench Detection preview by Segmentation_v8_large_300_train_300
Original Image: P00761.jpg
GT: knife
knife Detection preview by Box_v11_medium_train_SIXray_OPIXray No objects detected Detection preview by DN_Medium_300_yolov8m_20t7_new knife Detection preview by Segmentatation_v8_medium_train_250 knife Detection preview by Segmentation_V11_large_300_train_300 knife Detection preview by Segmentation_v8_large_300_train_300
Original Image: P00762.jpg
GT: gun, knife, pliers, wrench
gun, knife, pliers, wrench Detection preview by Box_v11_medium_train_SIXray_OPIXray No objects detected Detection preview by DN_Medium_300_yolov8m_20t7_new gun, knife, wrench Detection preview by Segmentatation_v8_medium_train_250 gun, knife, wrench Detection preview by Segmentation_V11_large_300_train_300 gun, knife, wrench Detection preview by Segmentation_v8_large_300_train_300
Original Image: P00763.jpg
GT: knife
knife, wrench Detection preview by Box_v11_medium_train_SIXray_OPIXray No objects detected Detection preview by DN_Medium_300_yolov8m_20t7_new knife, wrench Detection preview by Segmentatation_v8_medium_train_250 knife, wrench Detection preview by Segmentation_V11_large_300_train_300 knife, wrench Detection preview by Segmentation_v8_large_300_train_300
Original Image: P00764.jpg
GT: knife, wrench
knife, wrench Detection preview by Box_v11_medium_train_SIXray_OPIXray No objects detected Detection preview by DN_Medium_300_yolov8m_20t7_new knife, wrench Detection preview by Segmentatation_v8_medium_train_250 knife, wrench Detection preview by Segmentation_V11_large_300_train_300 knife, wrench Detection preview by Segmentation_v8_large_300_train_300
Original Image: P00765.jpg
GT: gun, knife, pliers
gun, knife, pliers Detection preview by Box_v11_medium_train_SIXray_OPIXray No objects detected Detection preview by DN_Medium_300_yolov8m_20t7_new gun, knife, wrench Detection preview by Segmentatation_v8_medium_train_250 gun, knife, wrench Detection preview by Segmentation_V11_large_300_train_300 gun, knife, wrench Detection preview by Segmentation_v8_large_300_train_300
Original Image: P00766.jpg
GT: knife, wrench
knife, wrench Detection preview by Box_v11_medium_train_SIXray_OPIXray No objects detected Detection preview by DN_Medium_300_yolov8m_20t7_new knife, wrench Detection preview by Segmentatation_v8_medium_train_250 knife, wrench Detection preview by Segmentation_V11_large_300_train_300 knife, wrench Detection preview by Segmentation_v8_large_300_train_300
Original Image: P00767.jpg
GT: gun, knife, pliers, wrench
gun, knife, pliers, wrench Detection preview by Box_v11_medium_train_SIXray_OPIXray No objects detected Detection preview by DN_Medium_300_yolov8m_20t7_new gun, knife, wrench Detection preview by Segmentatation_v8_medium_train_250 gun, knife, wrench Detection preview by Segmentation_V11_large_300_train_300 gun, knife, wrench Detection preview by Segmentation_v8_large_300_train_300
Original Image: P00768.jpg
GT: knife, wrench
knife, wrench Detection preview by Box_v11_medium_train_SIXray_OPIXray No objects detected Detection preview by DN_Medium_300_yolov8m_20t7_new knife, wrench Detection preview by Segmentatation_v8_medium_train_250 knife, wrench Detection preview by Segmentation_V11_large_300_train_300 knife, wrench Detection preview by Segmentation_v8_large_300_train_300
Original Image: P00769.jpg
GT: gun, knife, pliers, wrench
gun, knife, pliers, wrench Detection preview by Box_v11_medium_train_SIXray_OPIXray No objects detected Detection preview by DN_Medium_300_yolov8m_20t7_new gun, knife, wrench Detection preview by Segmentatation_v8_medium_train_250 gun, knife, wrench Detection preview by Segmentation_V11_large_300_train_300 gun, knife, wrench Detection preview by Segmentation_v8_large_300_train_300
Original Image: P00770.jpg
GT: knife, wrench
knife, wrench Detection preview by Box_v11_medium_train_SIXray_OPIXray No objects detected Detection preview by DN_Medium_300_yolov8m_20t7_new knife, wrench Detection preview by Segmentatation_v8_medium_train_250 knife, wrench Detection preview by Segmentation_V11_large_300_train_300 knife, wrench Detection preview by Segmentation_v8_large_300_train_300
Original Image: P00771.jpg
GT: gun, knife, pliers, wrench
gun, knife, pliers, wrench Detection preview by Box_v11_medium_train_SIXray_OPIXray No objects detected Detection preview by DN_Medium_300_yolov8m_20t7_new gun, knife, wrench Detection preview by Segmentatation_v8_medium_train_250 gun, knife, wrench Detection preview by Segmentation_V11_large_300_train_300 gun, knife, wrench Detection preview by Segmentation_v8_large_300_train_300
Original Image: P00772.jpg
GT: knife, wrench
knife, wrench Detection preview by Box_v11_medium_train_SIXray_OPIXray No objects detected Detection preview by DN_Medium_300_yolov8m_20t7_new knife, wrench Detection preview by Segmentatation_v8_medium_train_250 knife, wrench Detection preview by Segmentation_V11_large_300_train_300 knife, wrench Detection preview by Segmentation_v8_large_300_train_300
Original Image: P00773.jpg
GT: gun, knife, pliers, wrench
gun, knife, pliers, wrench Detection preview by Box_v11_medium_train_SIXray_OPIXray No objects detected Detection preview by DN_Medium_300_yolov8m_20t7_new gun, knife, wrench Detection preview by Segmentatation_v8_medium_train_250 gun, knife, wrench Detection preview by Segmentation_V11_large_300_train_300 gun, knife, wrench Detection preview by Segmentation_v8_large_300_train_300
Original Image: P00774.jpg
GT: knife, wrench
knife, wrench Detection preview by Box_v11_medium_train_SIXray_OPIXray No objects detected Detection preview by DN_Medium_300_yolov8m_20t7_new knife, wrench Detection preview by Segmentatation_v8_medium_train_250 knife, wrench Detection preview by Segmentation_V11_large_300_train_300 knife, wrench Detection preview by Segmentation_v8_large_300_train_300
Original Image: P00775.jpg
GT: gun, knife, pliers, wrench
gun, knife, pliers, wrench Detection preview by Box_v11_medium_train_SIXray_OPIXray No objects detected Detection preview by DN_Medium_300_yolov8m_20t7_new gun, knife, wrench Detection preview by Segmentatation_v8_medium_train_250 gun, knife, wrench Detection preview by Segmentation_V11_large_300_train_300 gun, knife, wrench Detection preview by Segmentation_v8_large_300_train_300
Original Image: P00776.jpg
GT: knife, wrench
knife, wrench Detection preview by Box_v11_medium_train_SIXray_OPIXray No objects detected Detection preview by DN_Medium_300_yolov8m_20t7_new knife, wrench Detection preview by Segmentatation_v8_medium_train_250 knife, wrench Detection preview by Segmentation_V11_large_300_train_300 knife, wrench Detection preview by Segmentation_v8_large_300_train_300
Original Image: P00777.jpg
GT: gun, knife, pliers, wrench
gun, knife, pliers, wrench Detection preview by Box_v11_medium_train_SIXray_OPIXray No objects detected Detection preview by DN_Medium_300_yolov8m_20t7_new gun, knife, wrench Detection preview by Segmentatation_v8_medium_train_250 gun, knife, wrench Detection preview by Segmentation_V11_large_300_train_300 gun, knife, wrench Detection preview by Segmentation_v8_large_300_train_300
Original Image: P00778.jpg
GT: knife, wrench
knife, wrench Detection preview by Box_v11_medium_train_SIXray_OPIXray No objects detected Detection preview by DN_Medium_300_yolov8m_20t7_new knife, wrench Detection preview by Segmentatation_v8_medium_train_250 knife, wrench Detection preview by Segmentation_V11_large_300_train_300 knife, wrench Detection preview by Segmentation_v8_large_300_train_300
Original Image: P00779.jpg
GT: gun, knife, pliers, wrench
gun, knife, pliers, wrench Detection preview by Box_v11_medium_train_SIXray_OPIXray No objects detected Detection preview by DN_Medium_300_yolov8m_20t7_new gun, knife, wrench Detection preview by Segmentatation_v8_medium_train_250 gun, knife, wrench Detection preview by Segmentation_V11_large_300_train_300 gun, knife, wrench Detection preview by Segmentation_v8_large_300_train_300
Original Image: P00780.jpg
GT: knife, wrench
knife, wrench Detection preview by Box_v11_medium_train_SIXray_OPIXray No objects detected Detection preview by DN_Medium_300_yolov8m_20t7_new knife, wrench Detection preview by Segmentatation_v8_medium_train_250 knife, wrench Detection preview by Segmentation_V11_large_300_train_300 knife, wrench Detection preview by Segmentation_v8_large_300_train_300
Original Image: P00781.jpg
GT: gun, knife, pliers, wrench
gun, knife, pliers, wrench Detection preview by Box_v11_medium_train_SIXray_OPIXray pliers Detection preview by DN_Medium_300_yolov8m_20t7_new knife, wrench Detection preview by Segmentatation_v8_medium_train_250 gun, knife, wrench Detection preview by Segmentation_V11_large_300_train_300 knife, wrench Detection preview by Segmentation_v8_large_300_train_300
Original Image: P00782.jpg
GT: knife, wrench
knife, wrench Detection preview by Box_v11_medium_train_SIXray_OPIXray No objects detected Detection preview by DN_Medium_300_yolov8m_20t7_new knife, wrench Detection preview by Segmentatation_v8_medium_train_250 knife, wrench Detection preview by Segmentation_V11_large_300_train_300 knife, wrench Detection preview by Segmentation_v8_large_300_train_300
Original Image: P00783.jpg
GT: gun, knife, wrench
gun, knife, pliers, wrench Detection preview by Box_v11_medium_train_SIXray_OPIXray No objects detected Detection preview by DN_Medium_300_yolov8m_20t7_new gun, knife, wrench Detection preview by Segmentatation_v8_medium_train_250 gun, knife, wrench Detection preview by Segmentation_V11_large_300_train_300 gun, knife, wrench Detection preview by Segmentation_v8_large_300_train_300
Original Image: P00784.jpg
GT: knife, wrench
knife, wrench Detection preview by Box_v11_medium_train_SIXray_OPIXray No objects detected Detection preview by DN_Medium_300_yolov8m_20t7_new knife, wrench Detection preview by Segmentatation_v8_medium_train_250 knife, wrench Detection preview by Segmentation_V11_large_300_train_300 knife, wrench Detection preview by Segmentation_v8_large_300_train_300
Original Image: P00785.jpg
GT: gun, knife, pliers, wrench
gun, knife, pliers, wrench Detection preview by Box_v11_medium_train_SIXray_OPIXray No objects detected Detection preview by DN_Medium_300_yolov8m_20t7_new gun, knife, wrench Detection preview by Segmentatation_v8_medium_train_250 gun, knife, wrench Detection preview by Segmentation_V11_large_300_train_300 gun, knife, wrench Detection preview by Segmentation_v8_large_300_train_300
Original Image: P00786.jpg
GT: knife, wrench
knife, wrench Detection preview by Box_v11_medium_train_SIXray_OPIXray No objects detected Detection preview by DN_Medium_300_yolov8m_20t7_new knife, wrench Detection preview by Segmentatation_v8_medium_train_250 knife, wrench Detection preview by Segmentation_V11_large_300_train_300 knife, wrench Detection preview by Segmentation_v8_large_300_train_300
Original Image: P00787.jpg
GT: gun, knife, pliers, wrench
gun, knife, pliers, wrench Detection preview by Box_v11_medium_train_SIXray_OPIXray No objects detected Detection preview by DN_Medium_300_yolov8m_20t7_new gun, knife, wrench Detection preview by Segmentatation_v8_medium_train_250 gun, knife, wrench Detection preview by Segmentation_V11_large_300_train_300 gun, knife, wrench Detection preview by Segmentation_v8_large_300_train_300
Original Image: P00788.jpg
GT: knife, wrench
knife, wrench Detection preview by Box_v11_medium_train_SIXray_OPIXray No objects detected Detection preview by DN_Medium_300_yolov8m_20t7_new knife, wrench Detection preview by Segmentatation_v8_medium_train_250 knife, wrench Detection preview by Segmentation_V11_large_300_train_300 knife, wrench Detection preview by Segmentation_v8_large_300_train_300
Original Image: P00789.jpg
GT: gun, knife, pliers, wrench
gun, knife, pliers, wrench Detection preview by Box_v11_medium_train_SIXray_OPIXray No objects detected Detection preview by DN_Medium_300_yolov8m_20t7_new gun, knife, wrench Detection preview by Segmentatation_v8_medium_train_250 gun, knife, wrench Detection preview by Segmentation_V11_large_300_train_300 gun, knife, wrench Detection preview by Segmentation_v8_large_300_train_300
Original Image: P00790.jpg
GT: knife, wrench
knife, wrench Detection preview by Box_v11_medium_train_SIXray_OPIXray No objects detected Detection preview by DN_Medium_300_yolov8m_20t7_new knife, wrench Detection preview by Segmentatation_v8_medium_train_250 knife, wrench Detection preview by Segmentation_V11_large_300_train_300 knife, wrench Detection preview by Segmentation_v8_large_300_train_300
Original Image: P00791.jpg
GT: gun, knife, pliers, wrench
gun, knife, pliers, wrench Detection preview by Box_v11_medium_train_SIXray_OPIXray No objects detected Detection preview by DN_Medium_300_yolov8m_20t7_new gun, knife, wrench Detection preview by Segmentatation_v8_medium_train_250 gun, knife, wrench Detection preview by Segmentation_V11_large_300_train_300 gun, knife, wrench Detection preview by Segmentation_v8_large_300_train_300
Original Image: P00792.jpg
GT: knife, wrench
knife, wrench Detection preview by Box_v11_medium_train_SIXray_OPIXray No objects detected Detection preview by DN_Medium_300_yolov8m_20t7_new knife, wrench Detection preview by Segmentatation_v8_medium_train_250 knife, wrench Detection preview by Segmentation_V11_large_300_train_300 knife, wrench Detection preview by Segmentation_v8_large_300_train_300
Original Image: P00793.jpg
GT: gun, knife, pliers, wrench
gun, knife, pliers, wrench Detection preview by Box_v11_medium_train_SIXray_OPIXray No objects detected Detection preview by DN_Medium_300_yolov8m_20t7_new gun, knife, wrench Detection preview by Segmentatation_v8_medium_train_250 gun, knife, wrench Detection preview by Segmentation_V11_large_300_train_300 gun, knife, wrench Detection preview by Segmentation_v8_large_300_train_300
Original Image: P00794.jpg
GT: knife, wrench
knife, wrench Detection preview by Box_v11_medium_train_SIXray_OPIXray No objects detected Detection preview by DN_Medium_300_yolov8m_20t7_new knife, wrench Detection preview by Segmentatation_v8_medium_train_250 knife, wrench Detection preview by Segmentation_V11_large_300_train_300 knife, wrench Detection preview by Segmentation_v8_large_300_train_300
Original Image: P00795.jpg
GT: gun, knife, pliers, wrench
gun, knife, pliers, wrench Detection preview by Box_v11_medium_train_SIXray_OPIXray No objects detected Detection preview by DN_Medium_300_yolov8m_20t7_new gun, knife, wrench Detection preview by Segmentatation_v8_medium_train_250 gun, knife, wrench Detection preview by Segmentation_V11_large_300_train_300 gun, knife, wrench Detection preview by Segmentation_v8_large_300_train_300
Original Image: P00796.jpg
GT: gun, wrench
knife, wrench Detection preview by Box_v11_medium_train_SIXray_OPIXray No objects detected Detection preview by DN_Medium_300_yolov8m_20t7_new knife, wrench Detection preview by Segmentatation_v8_medium_train_250 knife, wrench Detection preview by Segmentation_V11_large_300_train_300 knife, wrench Detection preview by Segmentation_v8_large_300_train_300
Original Image: P00797.jpg
GT: gun, knife, pliers, wrench
gun, knife, pliers, wrench Detection preview by Box_v11_medium_train_SIXray_OPIXray No objects detected Detection preview by DN_Medium_300_yolov8m_20t7_new gun, knife, wrench Detection preview by Segmentatation_v8_medium_train_250 gun, knife, wrench Detection preview by Segmentation_V11_large_300_train_300 gun, knife, wrench Detection preview by Segmentation_v8_large_300_train_300
Original Image: P00798.jpg
GT: knife, wrench
knife, wrench Detection preview by Box_v11_medium_train_SIXray_OPIXray No objects detected Detection preview by DN_Medium_300_yolov8m_20t7_new knife, wrench Detection preview by Segmentatation_v8_medium_train_250 knife, wrench Detection preview by Segmentation_V11_large_300_train_300 knife, wrench Detection preview by Segmentation_v8_large_300_train_300
Original Image: P00799.jpg
GT: gun, knife, pliers, wrench
gun, knife, pliers, wrench Detection preview by Box_v11_medium_train_SIXray_OPIXray No objects detected Detection preview by DN_Medium_300_yolov8m_20t7_new gun, knife, wrench Detection preview by Segmentatation_v8_medium_train_250 gun, knife, wrench Detection preview by Segmentation_V11_large_300_train_300 gun, knife, wrench Detection preview by Segmentation_v8_large_300_train_300
Original Image: P00800.jpg
GT: knife, wrench
knife, wrench Detection preview by Box_v11_medium_train_SIXray_OPIXray No objects detected Detection preview by DN_Medium_300_yolov8m_20t7_new knife, wrench Detection preview by Segmentatation_v8_medium_train_250 knife, wrench Detection preview by Segmentation_V11_large_300_train_300 knife, wrench Detection preview by Segmentation_v8_large_300_train_300
Original Image: P00801.jpg
GT: gun, knife, pliers, wrench
gun, knife, pliers, wrench Detection preview by Box_v11_medium_train_SIXray_OPIXray No objects detected Detection preview by DN_Medium_300_yolov8m_20t7_new gun, knife, wrench Detection preview by Segmentatation_v8_medium_train_250 gun, knife, wrench Detection preview by Segmentation_V11_large_300_train_300 gun, knife, wrench Detection preview by Segmentation_v8_large_300_train_300
Original Image: P00802.jpg
GT: knife, wrench
knife, wrench Detection preview by Box_v11_medium_train_SIXray_OPIXray No objects detected Detection preview by DN_Medium_300_yolov8m_20t7_new knife, wrench Detection preview by Segmentatation_v8_medium_train_250 knife, wrench Detection preview by Segmentation_V11_large_300_train_300 knife, wrench Detection preview by Segmentation_v8_large_300_train_300
Original Image: P00803.jpg
GT: gun, knife, pliers, wrench
gun, knife, pliers, wrench Detection preview by Box_v11_medium_train_SIXray_OPIXray No objects detected Detection preview by DN_Medium_300_yolov8m_20t7_new gun, knife, wrench Detection preview by Segmentatation_v8_medium_train_250 gun, knife, wrench Detection preview by Segmentation_V11_large_300_train_300 gun, knife, wrench Detection preview by Segmentation_v8_large_300_train_300
Original Image: P00804.jpg
GT: knife, wrench
knife, wrench Detection preview by Box_v11_medium_train_SIXray_OPIXray No objects detected Detection preview by DN_Medium_300_yolov8m_20t7_new knife, wrench Detection preview by Segmentatation_v8_medium_train_250 knife, wrench Detection preview by Segmentation_V11_large_300_train_300 knife, wrench Detection preview by Segmentation_v8_large_300_train_300
Original Image: P00805.jpg
GT: gun, knife, pliers, wrench
gun, knife, pliers, wrench Detection preview by Box_v11_medium_train_SIXray_OPIXray No objects detected Detection preview by DN_Medium_300_yolov8m_20t7_new gun, knife, wrench Detection preview by Segmentatation_v8_medium_train_250 gun, knife, wrench Detection preview by Segmentation_V11_large_300_train_300 gun, knife, wrench Detection preview by Segmentation_v8_large_300_train_300
Original Image: P00806.jpg
GT: gun, knife, wrench
gun, knife, wrench Detection preview by Box_v11_medium_train_SIXray_OPIXray No objects detected Detection preview by DN_Medium_300_yolov8m_20t7_new gun, knife, wrench Detection preview by Segmentatation_v8_medium_train_250 gun, knife, wrench Detection preview by Segmentation_V11_large_300_train_300 gun, knife, wrench Detection preview by Segmentation_v8_large_300_train_300
Original Image: P00807.jpg
GT: gun, knife
gun, knife, pliers, wrench Detection preview by Box_v11_medium_train_SIXray_OPIXray No objects detected Detection preview by DN_Medium_300_yolov8m_20t7_new gun, knife Detection preview by Segmentatation_v8_medium_train_250 gun, knife Detection preview by Segmentation_V11_large_300_train_300 gun, knife Detection preview by Segmentation_v8_large_300_train_300
Original Image: P00808.jpg
GT: gun, knife, wrench
gun, knife, pliers, wrench Detection preview by Box_v11_medium_train_SIXray_OPIXray No objects detected Detection preview by DN_Medium_300_yolov8m_20t7_new gun, knife, wrench Detection preview by Segmentatation_v8_medium_train_250 gun, knife Detection preview by Segmentation_V11_large_300_train_300 gun, knife Detection preview by Segmentation_v8_large_300_train_300
Original Image: P00809.jpg
GT: gun, knife, wrench
gun, knife, pliers, wrench Detection preview by Box_v11_medium_train_SIXray_OPIXray No objects detected Detection preview by DN_Medium_300_yolov8m_20t7_new gun, knife, wrench Detection preview by Segmentatation_v8_medium_train_250 gun, knife, wrench Detection preview by Segmentation_V11_large_300_train_300 gun, knife, wrench Detection preview by Segmentation_v8_large_300_train_300
Original Image: P00810.jpg
GT: gun, knife, wrench
gun, knife, pliers, wrench Detection preview by Box_v11_medium_train_SIXray_OPIXray No objects detected Detection preview by DN_Medium_300_yolov8m_20t7_new gun, knife, wrench Detection preview by Segmentatation_v8_medium_train_250 gun, knife, wrench Detection preview by Segmentation_V11_large_300_train_300 gun, knife Detection preview by Segmentation_v8_large_300_train_300
Original Image: P00811.jpg
GT: gun, knife, wrench
gun, knife, pliers, wrench Detection preview by Box_v11_medium_train_SIXray_OPIXray No objects detected Detection preview by DN_Medium_300_yolov8m_20t7_new gun, knife, wrench Detection preview by Segmentatation_v8_medium_train_250 gun, knife, wrench Detection preview by Segmentation_V11_large_300_train_300 gun, knife, wrench Detection preview by Segmentation_v8_large_300_train_300
Original Image: P00812.jpg
GT: gun, knife, wrench
gun, knife, pliers, wrench Detection preview by Box_v11_medium_train_SIXray_OPIXray No objects detected Detection preview by DN_Medium_300_yolov8m_20t7_new gun, knife, wrench Detection preview by Segmentatation_v8_medium_train_250 gun, knife, wrench Detection preview by Segmentation_V11_large_300_train_300 gun, knife, wrench Detection preview by Segmentation_v8_large_300_train_300
Original Image: P00813.jpg
GT: gun, knife, wrench
gun, knife, pliers, wrench Detection preview by Box_v11_medium_train_SIXray_OPIXray No objects detected Detection preview by DN_Medium_300_yolov8m_20t7_new gun, knife, wrench Detection preview by Segmentatation_v8_medium_train_250 gun, knife, wrench Detection preview by Segmentation_V11_large_300_train_300 gun, knife, wrench Detection preview by Segmentation_v8_large_300_train_300
Original Image: P00814.jpg
GT: gun, knife, wrench
gun, knife, pliers, wrench Detection preview by Box_v11_medium_train_SIXray_OPIXray No objects detected Detection preview by DN_Medium_300_yolov8m_20t7_new gun, knife, wrench Detection preview by Segmentatation_v8_medium_train_250 gun, knife, wrench Detection preview by Segmentation_V11_large_300_train_300 gun, knife, wrench Detection preview by Segmentation_v8_large_300_train_300
Original Image: P00815.jpg
GT: gun, knife, pliers, wrench
gun, knife, pliers, wrench Detection preview by Box_v11_medium_train_SIXray_OPIXray No objects detected Detection preview by DN_Medium_300_yolov8m_20t7_new gun, wrench Detection preview by Segmentatation_v8_medium_train_250 knife, wrench Detection preview by Segmentation_V11_large_300_train_300 gun, wrench Detection preview by Segmentation_v8_large_300_train_300
Original Image: P00816.jpg
GT: gun, knife, pliers, wrench
gun, knife, pliers, wrench Detection preview by Box_v11_medium_train_SIXray_OPIXray pliers Detection preview by DN_Medium_300_yolov8m_20t7_new gun, knife, wrench Detection preview by Segmentatation_v8_medium_train_250 gun, knife, wrench Detection preview by Segmentation_V11_large_300_train_300 gun, knife, wrench Detection preview by Segmentation_v8_large_300_train_300
Original Image: P00817.jpg
GT: gun, knife, pliers, wrench
gun, knife, pliers, wrench Detection preview by Box_v11_medium_train_SIXray_OPIXray No objects detected Detection preview by DN_Medium_300_yolov8m_20t7_new gun, knife, wrench Detection preview by Segmentatation_v8_medium_train_250 gun, knife, wrench Detection preview by Segmentation_V11_large_300_train_300 gun, knife, wrench Detection preview by Segmentation_v8_large_300_train_300
Original Image: P00818.jpg
GT: gun, knife, pliers, wrench
gun, knife, pliers, wrench Detection preview by Box_v11_medium_train_SIXray_OPIXray No objects detected Detection preview by DN_Medium_300_yolov8m_20t7_new gun Detection preview by Segmentatation_v8_medium_train_250 gun, knife Detection preview by Segmentation_V11_large_300_train_300 gun, knife Detection preview by Segmentation_v8_large_300_train_300
Original Image: P00819.jpg
GT: gun, knife, wrench
gun, knife, wrench Detection preview by Box_v11_medium_train_SIXray_OPIXray No objects detected Detection preview by DN_Medium_300_yolov8m_20t7_new knife, wrench Detection preview by Segmentatation_v8_medium_train_250 gun, knife, wrench Detection preview by Segmentation_V11_large_300_train_300 knife, wrench Detection preview by Segmentation_v8_large_300_train_300
Original Image: P00820.jpg
GT: knife, wrench
knife, wrench Detection preview by Box_v11_medium_train_SIXray_OPIXray No objects detected Detection preview by DN_Medium_300_yolov8m_20t7_new knife, wrench Detection preview by Segmentatation_v8_medium_train_250 knife, wrench Detection preview by Segmentation_V11_large_300_train_300 knife, wrench Detection preview by Segmentation_v8_large_300_train_300
Original Image: P00821.jpg
GT: gun, knife
gun, knife, pliers, wrench Detection preview by Box_v11_medium_train_SIXray_OPIXray No objects detected Detection preview by DN_Medium_300_yolov8m_20t7_new knife Detection preview by Segmentatation_v8_medium_train_250 knife Detection preview by Segmentation_V11_large_300_train_300 gun, knife Detection preview by Segmentation_v8_large_300_train_300
Original Image: P00822.jpg
GT: knife, wrench
gun, knife, wrench Detection preview by Box_v11_medium_train_SIXray_OPIXray No objects detected Detection preview by DN_Medium_300_yolov8m_20t7_new wrench Detection preview by Segmentatation_v8_medium_train_250 knife, wrench Detection preview by Segmentation_V11_large_300_train_300 knife, wrench Detection preview by Segmentation_v8_large_300_train_300
Original Image: P00823.jpg
GT: gun, knife, pliers
gun, knife, pliers, wrench Detection preview by Box_v11_medium_train_SIXray_OPIXray No objects detected Detection preview by DN_Medium_300_yolov8m_20t7_new gun, knife, wrench Detection preview by Segmentatation_v8_medium_train_250 gun, knife Detection preview by Segmentation_V11_large_300_train_300 gun, knife Detection preview by Segmentation_v8_large_300_train_300
Original Image: P00824.jpg
GT: knife
knife Detection preview by Box_v11_medium_train_SIXray_OPIXray No objects detected Detection preview by DN_Medium_300_yolov8m_20t7_new knife Detection preview by Segmentatation_v8_medium_train_250 knife Detection preview by Segmentation_V11_large_300_train_300 knife Detection preview by Segmentation_v8_large_300_train_300
Original Image: P00825.jpg
GT: gun, knife, pliers
gun, knife, pliers, wrench Detection preview by Box_v11_medium_train_SIXray_OPIXray No objects detected Detection preview by DN_Medium_300_yolov8m_20t7_new gun, knife Detection preview by Segmentatation_v8_medium_train_250 gun, knife Detection preview by Segmentation_V11_large_300_train_300 gun, knife Detection preview by Segmentation_v8_large_300_train_300
Original Image: P00826.jpg
GT: knife
knife Detection preview by Box_v11_medium_train_SIXray_OPIXray No objects detected Detection preview by DN_Medium_300_yolov8m_20t7_new knife Detection preview by Segmentatation_v8_medium_train_250 knife Detection preview by Segmentation_V11_large_300_train_300 knife Detection preview by Segmentation_v8_large_300_train_300
Original Image: P00827.jpg
GT: gun, knife, pliers
gun, knife, pliers, wrench Detection preview by Box_v11_medium_train_SIXray_OPIXray No objects detected Detection preview by DN_Medium_300_yolov8m_20t7_new gun, knife, wrench Detection preview by Segmentatation_v8_medium_train_250 gun, knife Detection preview by Segmentation_V11_large_300_train_300 gun, knife, wrench Detection preview by Segmentation_v8_large_300_train_300
Original Image: P00828.jpg
GT: knife
knife Detection preview by Box_v11_medium_train_SIXray_OPIXray No objects detected Detection preview by DN_Medium_300_yolov8m_20t7_new knife Detection preview by Segmentatation_v8_medium_train_250 knife Detection preview by Segmentation_V11_large_300_train_300 knife Detection preview by Segmentation_v8_large_300_train_300
Original Image: P00829.jpg
GT: gun, knife
gun, knife Detection preview by Box_v11_medium_train_SIXray_OPIXray No objects detected Detection preview by DN_Medium_300_yolov8m_20t7_new gun, knife Detection preview by Segmentatation_v8_medium_train_250 gun, knife Detection preview by Segmentation_V11_large_300_train_300 gun, knife Detection preview by Segmentation_v8_large_300_train_300
Original Image: P00830.jpg
GT: gun, knife, pliers
gun, knife, pliers, wrench Detection preview by Box_v11_medium_train_SIXray_OPIXray No objects detected Detection preview by DN_Medium_300_yolov8m_20t7_new gun, knife, wrench Detection preview by Segmentatation_v8_medium_train_250 gun, knife, wrench Detection preview by Segmentation_V11_large_300_train_300 gun, knife, wrench Detection preview by Segmentation_v8_large_300_train_300
Original Image: P00831.jpg
GT: gun, knife, wrench
gun, knife, wrench Detection preview by Box_v11_medium_train_SIXray_OPIXray No objects detected Detection preview by DN_Medium_300_yolov8m_20t7_new gun, knife, wrench Detection preview by Segmentatation_v8_medium_train_250 gun, knife, wrench Detection preview by Segmentation_V11_large_300_train_300 gun, knife, wrench Detection preview by Segmentation_v8_large_300_train_300
Original Image: P00832.jpg
GT: gun, knife, pliers, wrench
gun, knife, pliers, wrench Detection preview by Box_v11_medium_train_SIXray_OPIXray No objects detected Detection preview by DN_Medium_300_yolov8m_20t7_new knife Detection preview by Segmentatation_v8_medium_train_250 knife, wrench Detection preview by Segmentation_V11_large_300_train_300 knife, wrench Detection preview by Segmentation_v8_large_300_train_300
Original Image: P00833.jpg
GT: knife
knife Detection preview by Box_v11_medium_train_SIXray_OPIXray No objects detected Detection preview by DN_Medium_300_yolov8m_20t7_new knife Detection preview by Segmentatation_v8_medium_train_250 knife Detection preview by Segmentation_V11_large_300_train_300 knife Detection preview by Segmentation_v8_large_300_train_300
Original Image: P00834.jpg
GT: gun, knife
gun, knife Detection preview by Box_v11_medium_train_SIXray_OPIXray No objects detected Detection preview by DN_Medium_300_yolov8m_20t7_new gun, knife, wrench Detection preview by Segmentatation_v8_medium_train_250 gun, knife, wrench Detection preview by Segmentation_V11_large_300_train_300 gun, knife, wrench Detection preview by Segmentation_v8_large_300_train_300
Original Image: P00835.jpg
GT: knife, pliers, wrench
knife, pliers, wrench Detection preview by Box_v11_medium_train_SIXray_OPIXray pliers Detection preview by DN_Medium_300_yolov8m_20t7_new knife, wrench Detection preview by Segmentatation_v8_medium_train_250 knife, wrench Detection preview by Segmentation_V11_large_300_train_300 knife, wrench Detection preview by Segmentation_v8_large_300_train_300
Original Image: P00836.jpg
GT: knife
knife Detection preview by Box_v11_medium_train_SIXray_OPIXray No objects detected Detection preview by DN_Medium_300_yolov8m_20t7_new knife Detection preview by Segmentatation_v8_medium_train_250 knife Detection preview by Segmentation_V11_large_300_train_300 knife Detection preview by Segmentation_v8_large_300_train_300
Original Image: P00837.jpg
GT: gun, knife, wrench
gun, knife, wrench Detection preview by Box_v11_medium_train_SIXray_OPIXray No objects detected Detection preview by DN_Medium_300_yolov8m_20t7_new gun, knife, wrench Detection preview by Segmentatation_v8_medium_train_250 gun, knife, wrench Detection preview by Segmentation_V11_large_300_train_300 gun, knife, wrench Detection preview by Segmentation_v8_large_300_train_300
Original Image: P00838.jpg
GT: gun, knife, pliers, wrench
gun, knife, pliers, wrench Detection preview by Box_v11_medium_train_SIXray_OPIXray pliers Detection preview by DN_Medium_300_yolov8m_20t7_new gun, knife, wrench Detection preview by Segmentatation_v8_medium_train_250 gun, knife, wrench Detection preview by Segmentation_V11_large_300_train_300 gun, knife, wrench Detection preview by Segmentation_v8_large_300_train_300
Original Image: P00839.jpg
GT: knife
knife Detection preview by Box_v11_medium_train_SIXray_OPIXray No objects detected Detection preview by DN_Medium_300_yolov8m_20t7_new knife Detection preview by Segmentatation_v8_medium_train_250 knife Detection preview by Segmentation_V11_large_300_train_300 knife Detection preview by Segmentation_v8_large_300_train_300
Original Image: P00840.jpg
GT: gun, knife, wrench
gun, knife, wrench Detection preview by Box_v11_medium_train_SIXray_OPIXray No objects detected Detection preview by DN_Medium_300_yolov8m_20t7_new gun, knife, wrench Detection preview by Segmentatation_v8_medium_train_250 gun, knife, wrench Detection preview by Segmentation_V11_large_300_train_300 gun, knife, wrench Detection preview by Segmentation_v8_large_300_train_300
Original Image: P00841.jpg
GT: knife, pliers, wrench
knife, pliers, wrench Detection preview by Box_v11_medium_train_SIXray_OPIXray No objects detected Detection preview by DN_Medium_300_yolov8m_20t7_new knife, wrench Detection preview by Segmentatation_v8_medium_train_250 knife, wrench Detection preview by Segmentation_V11_large_300_train_300 knife, wrench Detection preview by Segmentation_v8_large_300_train_300
Original Image: P00842.jpg
GT: knife
knife Detection preview by Box_v11_medium_train_SIXray_OPIXray No objects detected Detection preview by DN_Medium_300_yolov8m_20t7_new knife Detection preview by Segmentatation_v8_medium_train_250 knife Detection preview by Segmentation_V11_large_300_train_300 knife Detection preview by Segmentation_v8_large_300_train_300
Original Image: P00843.jpg
GT: gun, knife, wrench
gun, knife, wrench Detection preview by Box_v11_medium_train_SIXray_OPIXray No objects detected Detection preview by DN_Medium_300_yolov8m_20t7_new gun, knife, wrench Detection preview by Segmentatation_v8_medium_train_250 gun, knife, wrench Detection preview by Segmentation_V11_large_300_train_300 gun, knife, wrench Detection preview by Segmentation_v8_large_300_train_300
Original Image: P00844.jpg
GT: knife, pliers, wrench
knife, pliers, wrench Detection preview by Box_v11_medium_train_SIXray_OPIXray pliers Detection preview by DN_Medium_300_yolov8m_20t7_new knife Detection preview by Segmentatation_v8_medium_train_250 knife Detection preview by Segmentation_V11_large_300_train_300 knife Detection preview by Segmentation_v8_large_300_train_300
Original Image: P00845.jpg
GT: knife
knife Detection preview by Box_v11_medium_train_SIXray_OPIXray No objects detected Detection preview by DN_Medium_300_yolov8m_20t7_new knife Detection preview by Segmentatation_v8_medium_train_250 knife Detection preview by Segmentation_V11_large_300_train_300 knife Detection preview by Segmentation_v8_large_300_train_300
Original Image: P00846.jpg
GT: gun, knife, wrench
gun, knife, wrench Detection preview by Box_v11_medium_train_SIXray_OPIXray No objects detected Detection preview by DN_Medium_300_yolov8m_20t7_new gun, knife, wrench Detection preview by Segmentatation_v8_medium_train_250 gun, knife, wrench Detection preview by Segmentation_V11_large_300_train_300 gun, knife, wrench Detection preview by Segmentation_v8_large_300_train_300
Original Image: P00847.jpg
GT: gun, knife, pliers
gun, knife, pliers, wrench Detection preview by Box_v11_medium_train_SIXray_OPIXray pliers Detection preview by DN_Medium_300_yolov8m_20t7_new gun, knife Detection preview by Segmentatation_v8_medium_train_250 gun, knife Detection preview by Segmentation_V11_large_300_train_300 gun, knife Detection preview by Segmentation_v8_large_300_train_300
Original Image: P00848.jpg
GT: knife
knife Detection preview by Box_v11_medium_train_SIXray_OPIXray No objects detected Detection preview by DN_Medium_300_yolov8m_20t7_new knife Detection preview by Segmentatation_v8_medium_train_250 knife Detection preview by Segmentation_V11_large_300_train_300 knife Detection preview by Segmentation_v8_large_300_train_300
Original Image: P00849.jpg
GT: gun, knife, wrench
gun, knife, wrench Detection preview by Box_v11_medium_train_SIXray_OPIXray No objects detected Detection preview by DN_Medium_300_yolov8m_20t7_new gun, knife, wrench Detection preview by Segmentatation_v8_medium_train_250 gun, knife, wrench Detection preview by Segmentation_V11_large_300_train_300 gun, knife, wrench Detection preview by Segmentation_v8_large_300_train_300
Original Image: P00850.jpg
GT: gun, knife, pliers
gun, knife, pliers, wrench Detection preview by Box_v11_medium_train_SIXray_OPIXray pliers Detection preview by DN_Medium_300_yolov8m_20t7_new gun, knife Detection preview by Segmentatation_v8_medium_train_250 gun, knife Detection preview by Segmentation_V11_large_300_train_300 gun, knife Detection preview by Segmentation_v8_large_300_train_300
Original Image: P00851.jpg
GT: knife
knife Detection preview by Box_v11_medium_train_SIXray_OPIXray No objects detected Detection preview by DN_Medium_300_yolov8m_20t7_new knife Detection preview by Segmentatation_v8_medium_train_250 knife Detection preview by Segmentation_V11_large_300_train_300 knife Detection preview by Segmentation_v8_large_300_train_300
Original Image: P00852.jpg
GT: gun, knife, wrench
gun, knife, wrench Detection preview by Box_v11_medium_train_SIXray_OPIXray No objects detected Detection preview by DN_Medium_300_yolov8m_20t7_new gun, knife, wrench Detection preview by Segmentatation_v8_medium_train_250 gun, knife, wrench Detection preview by Segmentation_V11_large_300_train_300 gun, knife, wrench Detection preview by Segmentation_v8_large_300_train_300
Original Image: P00853.jpg
GT: gun, knife, pliers, wrench
gun, knife, pliers, wrench Detection preview by Box_v11_medium_train_SIXray_OPIXray pliers Detection preview by DN_Medium_300_yolov8m_20t7_new gun, knife, wrench Detection preview by Segmentatation_v8_medium_train_250 gun, knife, wrench Detection preview by Segmentation_V11_large_300_train_300 gun, knife, wrench Detection preview by Segmentation_v8_large_300_train_300
Original Image: P00854.jpg
GT: knife
knife Detection preview by Box_v11_medium_train_SIXray_OPIXray No objects detected Detection preview by DN_Medium_300_yolov8m_20t7_new knife Detection preview by Segmentatation_v8_medium_train_250 knife Detection preview by Segmentation_V11_large_300_train_300 knife Detection preview by Segmentation_v8_large_300_train_300
Original Image: P00855.jpg
GT: gun, knife, wrench
gun, knife, wrench Detection preview by Box_v11_medium_train_SIXray_OPIXray No objects detected Detection preview by DN_Medium_300_yolov8m_20t7_new gun, wrench Detection preview by Segmentatation_v8_medium_train_250 gun, wrench Detection preview by Segmentation_V11_large_300_train_300 gun, wrench Detection preview by Segmentation_v8_large_300_train_300
Original Image: P00856.jpg
GT: gun, knife, pliers
gun, knife, pliers, wrench Detection preview by Box_v11_medium_train_SIXray_OPIXray pliers Detection preview by DN_Medium_300_yolov8m_20t7_new gun, knife, wrench Detection preview by Segmentatation_v8_medium_train_250 gun, knife, wrench Detection preview by Segmentation_V11_large_300_train_300 gun, knife, wrench Detection preview by Segmentation_v8_large_300_train_300
Original Image: P00857.jpg
GT: knife
knife Detection preview by Box_v11_medium_train_SIXray_OPIXray No objects detected Detection preview by DN_Medium_300_yolov8m_20t7_new knife Detection preview by Segmentatation_v8_medium_train_250 knife Detection preview by Segmentation_V11_large_300_train_300 knife Detection preview by Segmentation_v8_large_300_train_300
Original Image: P00858.jpg
GT: gun, knife, wrench
gun, knife, wrench Detection preview by Box_v11_medium_train_SIXray_OPIXray No objects detected Detection preview by DN_Medium_300_yolov8m_20t7_new gun, knife, wrench Detection preview by Segmentatation_v8_medium_train_250 gun, knife, wrench Detection preview by Segmentation_V11_large_300_train_300 gun, knife, wrench Detection preview by Segmentation_v8_large_300_train_300
Original Image: P00859.jpg
GT: gun, knife, pliers, wrench
gun, knife, pliers, wrench Detection preview by Box_v11_medium_train_SIXray_OPIXray pliers Detection preview by DN_Medium_300_yolov8m_20t7_new gun, knife, wrench Detection preview by Segmentatation_v8_medium_train_250 gun, knife, wrench Detection preview by Segmentation_V11_large_300_train_300 gun, knife, wrench Detection preview by Segmentation_v8_large_300_train_300
Original Image: P00860.jpg
GT: knife
knife Detection preview by Box_v11_medium_train_SIXray_OPIXray No objects detected Detection preview by DN_Medium_300_yolov8m_20t7_new knife Detection preview by Segmentatation_v8_medium_train_250 knife Detection preview by Segmentation_V11_large_300_train_300 knife Detection preview by Segmentation_v8_large_300_train_300
Original Image: P00861.jpg
GT: gun, knife, wrench
gun, knife, wrench Detection preview by Box_v11_medium_train_SIXray_OPIXray No objects detected Detection preview by DN_Medium_300_yolov8m_20t7_new gun, knife, wrench Detection preview by Segmentatation_v8_medium_train_250 gun, knife, wrench Detection preview by Segmentation_V11_large_300_train_300 gun, knife, wrench Detection preview by Segmentation_v8_large_300_train_300
Original Image: P00862.jpg
GT: gun, knife, pliers
gun, knife, pliers, wrench Detection preview by Box_v11_medium_train_SIXray_OPIXray pliers Detection preview by DN_Medium_300_yolov8m_20t7_new gun, knife Detection preview by Segmentatation_v8_medium_train_250 gun, knife Detection preview by Segmentation_V11_large_300_train_300 gun, knife Detection preview by Segmentation_v8_large_300_train_300
Original Image: P00863.jpg
GT: knife
knife Detection preview by Box_v11_medium_train_SIXray_OPIXray No objects detected Detection preview by DN_Medium_300_yolov8m_20t7_new knife Detection preview by Segmentatation_v8_medium_train_250 knife Detection preview by Segmentation_V11_large_300_train_300 knife Detection preview by Segmentation_v8_large_300_train_300
Original Image: P00864.jpg
GT: gun, knife, wrench
gun, knife, wrench Detection preview by Box_v11_medium_train_SIXray_OPIXray No objects detected Detection preview by DN_Medium_300_yolov8m_20t7_new gun, knife, wrench Detection preview by Segmentatation_v8_medium_train_250 gun, knife, wrench Detection preview by Segmentation_V11_large_300_train_300 gun, knife, wrench Detection preview by Segmentation_v8_large_300_train_300
Original Image: P00865.jpg
GT: gun, knife, pliers
gun, knife, pliers, wrench Detection preview by Box_v11_medium_train_SIXray_OPIXray No objects detected Detection preview by DN_Medium_300_yolov8m_20t7_new gun, knife Detection preview by Segmentatation_v8_medium_train_250 gun, knife Detection preview by Segmentation_V11_large_300_train_300 gun, knife Detection preview by Segmentation_v8_large_300_train_300
Original Image: P00866.jpg
GT: knife
knife Detection preview by Box_v11_medium_train_SIXray_OPIXray No objects detected Detection preview by DN_Medium_300_yolov8m_20t7_new knife Detection preview by Segmentatation_v8_medium_train_250 knife Detection preview by Segmentation_V11_large_300_train_300 knife Detection preview by Segmentation_v8_large_300_train_300
Original Image: P00867.jpg
GT: gun, knife, wrench
gun, knife, wrench Detection preview by Box_v11_medium_train_SIXray_OPIXray No objects detected Detection preview by DN_Medium_300_yolov8m_20t7_new gun, knife, wrench Detection preview by Segmentatation_v8_medium_train_250 gun, knife, wrench Detection preview by Segmentation_V11_large_300_train_300 gun, knife, wrench Detection preview by Segmentation_v8_large_300_train_300
Original Image: P00868.jpg
GT: gun, knife, pliers, wrench
gun, knife, pliers, wrench Detection preview by Box_v11_medium_train_SIXray_OPIXray pliers Detection preview by DN_Medium_300_yolov8m_20t7_new gun, knife, wrench Detection preview by Segmentatation_v8_medium_train_250 gun, knife, wrench Detection preview by Segmentation_V11_large_300_train_300 gun, knife, wrench Detection preview by Segmentation_v8_large_300_train_300
Original Image: P00869.jpg
GT: knife
knife Detection preview by Box_v11_medium_train_SIXray_OPIXray No objects detected Detection preview by DN_Medium_300_yolov8m_20t7_new knife Detection preview by Segmentatation_v8_medium_train_250 knife Detection preview by Segmentation_V11_large_300_train_300 knife Detection preview by Segmentation_v8_large_300_train_300
Original Image: P00870.jpg
GT: gun, knife, wrench
gun, knife, wrench Detection preview by Box_v11_medium_train_SIXray_OPIXray No objects detected Detection preview by DN_Medium_300_yolov8m_20t7_new gun, knife, wrench Detection preview by Segmentatation_v8_medium_train_250 gun, knife, wrench Detection preview by Segmentation_V11_large_300_train_300 gun, knife, wrench Detection preview by Segmentation_v8_large_300_train_300
Original Image: P00871.jpg
GT: gun, knife, pliers
gun, knife, pliers, wrench Detection preview by Box_v11_medium_train_SIXray_OPIXray No objects detected Detection preview by DN_Medium_300_yolov8m_20t7_new gun, knife, wrench Detection preview by Segmentatation_v8_medium_train_250 gun, knife, wrench Detection preview by Segmentation_V11_large_300_train_300 gun, knife, wrench Detection preview by Segmentation_v8_large_300_train_300
Original Image: P00872.jpg
GT: knife
knife Detection preview by Box_v11_medium_train_SIXray_OPIXray No objects detected Detection preview by DN_Medium_300_yolov8m_20t7_new knife Detection preview by Segmentatation_v8_medium_train_250 knife Detection preview by Segmentation_V11_large_300_train_300 knife Detection preview by Segmentation_v8_large_300_train_300
Original Image: P00873.jpg
GT: gun, knife, wrench
gun, knife, wrench Detection preview by Box_v11_medium_train_SIXray_OPIXray No objects detected Detection preview by DN_Medium_300_yolov8m_20t7_new gun, knife, wrench Detection preview by Segmentatation_v8_medium_train_250 gun, knife, wrench Detection preview by Segmentation_V11_large_300_train_300 gun, knife, wrench Detection preview by Segmentation_v8_large_300_train_300
Original Image: P00874.jpg
GT: gun, knife, pliers
gun, knife, pliers, wrench Detection preview by Box_v11_medium_train_SIXray_OPIXray pliers Detection preview by DN_Medium_300_yolov8m_20t7_new gun, knife Detection preview by Segmentatation_v8_medium_train_250 gun, knife Detection preview by Segmentation_V11_large_300_train_300 gun, knife Detection preview by Segmentation_v8_large_300_train_300
Original Image: P00875.jpg
GT: gun, knife, pliers, wrench
gun, knife, pliers, wrench Detection preview by Box_v11_medium_train_SIXray_OPIXray pliers Detection preview by DN_Medium_300_yolov8m_20t7_new gun, knife, wrench Detection preview by Segmentatation_v8_medium_train_250 gun, knife, wrench Detection preview by Segmentation_V11_large_300_train_300 gun, knife, wrench Detection preview by Segmentation_v8_large_300_train_300
Original Image: P00876.jpg
GT: knife
knife Detection preview by Box_v11_medium_train_SIXray_OPIXray No objects detected Detection preview by DN_Medium_300_yolov8m_20t7_new knife Detection preview by Segmentatation_v8_medium_train_250 knife Detection preview by Segmentation_V11_large_300_train_300 knife Detection preview by Segmentation_v8_large_300_train_300
Original Image: P00877.jpg
GT: knife
knife Detection preview by Box_v11_medium_train_SIXray_OPIXray No objects detected Detection preview by DN_Medium_300_yolov8m_20t7_new knife Detection preview by Segmentatation_v8_medium_train_250 knife Detection preview by Segmentation_V11_large_300_train_300 knife Detection preview by Segmentation_v8_large_300_train_300
Original Image: P00878.jpg
GT: knife
knife Detection preview by Box_v11_medium_train_SIXray_OPIXray No objects detected Detection preview by DN_Medium_300_yolov8m_20t7_new knife Detection preview by Segmentatation_v8_medium_train_250 knife Detection preview by Segmentation_V11_large_300_train_300 knife Detection preview by Segmentation_v8_large_300_train_300
Original Image: P00879.jpg
GT: knife
knife Detection preview by Box_v11_medium_train_SIXray_OPIXray No objects detected Detection preview by DN_Medium_300_yolov8m_20t7_new No objects detected Detection preview by Segmentatation_v8_medium_train_250 No objects detected Detection preview by Segmentation_V11_large_300_train_300 No objects detected Detection preview by Segmentation_v8_large_300_train_300
Original Image: P00880.jpg
GT: gun, knife
gun, knife Detection preview by Box_v11_medium_train_SIXray_OPIXray No objects detected Detection preview by DN_Medium_300_yolov8m_20t7_new No objects detected Detection preview by Segmentatation_v8_medium_train_250 gun Detection preview by Segmentation_V11_large_300_train_300 gun Detection preview by Segmentation_v8_large_300_train_300
Original Image: P00881.jpg
GT: gun, knife
gun, knife Detection preview by Box_v11_medium_train_SIXray_OPIXray No objects detected Detection preview by DN_Medium_300_yolov8m_20t7_new gun Detection preview by Segmentatation_v8_medium_train_250 gun, knife Detection preview by Segmentation_V11_large_300_train_300 gun Detection preview by Segmentation_v8_large_300_train_300
Original Image: P00882.jpg
GT: knife
knife Detection preview by Box_v11_medium_train_SIXray_OPIXray No objects detected Detection preview by DN_Medium_300_yolov8m_20t7_new knife Detection preview by Segmentatation_v8_medium_train_250 knife Detection preview by Segmentation_V11_large_300_train_300 knife Detection preview by Segmentation_v8_large_300_train_300
Original Image: P00883.jpg
GT: knife
knife Detection preview by Box_v11_medium_train_SIXray_OPIXray No objects detected Detection preview by DN_Medium_300_yolov8m_20t7_new knife Detection preview by Segmentatation_v8_medium_train_250 knife Detection preview by Segmentation_V11_large_300_train_300 knife Detection preview by Segmentation_v8_large_300_train_300
Original Image: P00884.jpg
GT: knife
knife Detection preview by Box_v11_medium_train_SIXray_OPIXray scissor Detection preview by DN_Medium_300_yolov8m_20t7_new knife Detection preview by Segmentatation_v8_medium_train_250 knife Detection preview by Segmentation_V11_large_300_train_300 knife Detection preview by Segmentation_v8_large_300_train_300
Original Image: P00885.jpg
GT: knife
knife Detection preview by Box_v11_medium_train_SIXray_OPIXray No objects detected Detection preview by DN_Medium_300_yolov8m_20t7_new knife Detection preview by Segmentatation_v8_medium_train_250 knife Detection preview by Segmentation_V11_large_300_train_300 knife Detection preview by Segmentation_v8_large_300_train_300
Original Image: P00886.jpg
GT: knife
knife Detection preview by Box_v11_medium_train_SIXray_OPIXray knife Detection preview by DN_Medium_300_yolov8m_20t7_new knife Detection preview by Segmentatation_v8_medium_train_250 knife Detection preview by Segmentation_V11_large_300_train_300 knife Detection preview by Segmentation_v8_large_300_train_300
Original Image: P00887.jpg
GT: knife
knife Detection preview by Box_v11_medium_train_SIXray_OPIXray knife, scissor Detection preview by DN_Medium_300_yolov8m_20t7_new knife Detection preview by Segmentatation_v8_medium_train_250 knife Detection preview by Segmentation_V11_large_300_train_300 knife Detection preview by Segmentation_v8_large_300_train_300
Original Image: P00888.jpg
GT: knife
knife Detection preview by Box_v11_medium_train_SIXray_OPIXray No objects detected Detection preview by DN_Medium_300_yolov8m_20t7_new knife Detection preview by Segmentatation_v8_medium_train_250 knife Detection preview by Segmentation_V11_large_300_train_300 knife Detection preview by Segmentation_v8_large_300_train_300
Original Image: P00889.jpg
GT: knife
knife Detection preview by Box_v11_medium_train_SIXray_OPIXray No objects detected Detection preview by DN_Medium_300_yolov8m_20t7_new knife Detection preview by Segmentatation_v8_medium_train_250 knife Detection preview by Segmentation_V11_large_300_train_300 knife Detection preview by Segmentation_v8_large_300_train_300
Original Image: P00890.jpg
GT: knife
knife Detection preview by Box_v11_medium_train_SIXray_OPIXray No objects detected Detection preview by DN_Medium_300_yolov8m_20t7_new knife Detection preview by Segmentatation_v8_medium_train_250 No objects detected Detection preview by Segmentation_V11_large_300_train_300 No objects detected Detection preview by Segmentation_v8_large_300_train_300
Original Image: P00891.jpg
GT: gun, knife
gun, knife Detection preview by Box_v11_medium_train_SIXray_OPIXray No objects detected Detection preview by DN_Medium_300_yolov8m_20t7_new gun, knife Detection preview by Segmentatation_v8_medium_train_250 gun, knife Detection preview by Segmentation_V11_large_300_train_300 gun, knife Detection preview by Segmentation_v8_large_300_train_300
Original Image: P00892.jpg
GT: gun, knife
gun, knife Detection preview by Box_v11_medium_train_SIXray_OPIXray No objects detected Detection preview by DN_Medium_300_yolov8m_20t7_new gun, knife Detection preview by Segmentatation_v8_medium_train_250 gun, knife Detection preview by Segmentation_V11_large_300_train_300 gun, knife Detection preview by Segmentation_v8_large_300_train_300
Original Image: P00893.jpg
GT: gun, knife
gun, knife Detection preview by Box_v11_medium_train_SIXray_OPIXray No objects detected Detection preview by DN_Medium_300_yolov8m_20t7_new gun, knife Detection preview by Segmentatation_v8_medium_train_250 gun, knife Detection preview by Segmentation_V11_large_300_train_300 gun, knife Detection preview by Segmentation_v8_large_300_train_300
Original Image: P00894.jpg
GT: gun, knife
gun, knife Detection preview by Box_v11_medium_train_SIXray_OPIXray No objects detected Detection preview by DN_Medium_300_yolov8m_20t7_new gun, knife Detection preview by Segmentatation_v8_medium_train_250 gun, knife Detection preview by Segmentation_V11_large_300_train_300 gun, knife Detection preview by Segmentation_v8_large_300_train_300
Original Image: P00895.jpg
GT: gun, knife
gun, knife Detection preview by Box_v11_medium_train_SIXray_OPIXray No objects detected Detection preview by DN_Medium_300_yolov8m_20t7_new gun, knife Detection preview by Segmentatation_v8_medium_train_250 gun, knife Detection preview by Segmentation_V11_large_300_train_300 gun, knife Detection preview by Segmentation_v8_large_300_train_300
Original Image: P00896.jpg
GT: gun, knife
gun, knife Detection preview by Box_v11_medium_train_SIXray_OPIXray No objects detected Detection preview by DN_Medium_300_yolov8m_20t7_new gun, knife Detection preview by Segmentatation_v8_medium_train_250 gun, knife Detection preview by Segmentation_V11_large_300_train_300 gun, knife Detection preview by Segmentation_v8_large_300_train_300
Original Image: P00897.jpg
GT: gun, knife
gun, knife Detection preview by Box_v11_medium_train_SIXray_OPIXray No objects detected Detection preview by DN_Medium_300_yolov8m_20t7_new gun, knife Detection preview by Segmentatation_v8_medium_train_250 gun, knife Detection preview by Segmentation_V11_large_300_train_300 gun, knife Detection preview by Segmentation_v8_large_300_train_300
Original Image: P00898.jpg
GT: gun, knife
gun, knife Detection preview by Box_v11_medium_train_SIXray_OPIXray No objects detected Detection preview by DN_Medium_300_yolov8m_20t7_new gun, knife Detection preview by Segmentatation_v8_medium_train_250 gun, knife Detection preview by Segmentation_V11_large_300_train_300 gun, knife Detection preview by Segmentation_v8_large_300_train_300
Original Image: P00899.jpg
GT: gun, knife
gun, knife Detection preview by Box_v11_medium_train_SIXray_OPIXray No objects detected Detection preview by DN_Medium_300_yolov8m_20t7_new gun, knife Detection preview by Segmentatation_v8_medium_train_250 gun, knife Detection preview by Segmentation_V11_large_300_train_300 gun, knife Detection preview by Segmentation_v8_large_300_train_300
Original Image: P00900.jpg
GT: gun, knife
gun, knife Detection preview by Box_v11_medium_train_SIXray_OPIXray No objects detected Detection preview by DN_Medium_300_yolov8m_20t7_new gun, knife Detection preview by Segmentatation_v8_medium_train_250 gun, knife Detection preview by Segmentation_V11_large_300_train_300 gun, knife Detection preview by Segmentation_v8_large_300_train_300
Original Image: P00901.jpg
GT: gun, knife
gun, knife Detection preview by Box_v11_medium_train_SIXray_OPIXray No objects detected Detection preview by DN_Medium_300_yolov8m_20t7_new gun, knife Detection preview by Segmentatation_v8_medium_train_250 gun, knife Detection preview by Segmentation_V11_large_300_train_300 gun, knife Detection preview by Segmentation_v8_large_300_train_300
Original Image: P00902.jpg
GT: gun, knife
gun, knife Detection preview by Box_v11_medium_train_SIXray_OPIXray No objects detected Detection preview by DN_Medium_300_yolov8m_20t7_new gun, knife Detection preview by Segmentatation_v8_medium_train_250 gun, knife Detection preview by Segmentation_V11_large_300_train_300 gun, knife Detection preview by Segmentation_v8_large_300_train_300
Original Image: P00903.jpg
GT: gun, knife
gun, knife Detection preview by Box_v11_medium_train_SIXray_OPIXray No objects detected Detection preview by DN_Medium_300_yolov8m_20t7_new gun, knife Detection preview by Segmentatation_v8_medium_train_250 gun, knife Detection preview by Segmentation_V11_large_300_train_300 gun, knife Detection preview by Segmentation_v8_large_300_train_300
Original Image: P00904.jpg
GT: gun, knife
gun, knife Detection preview by Box_v11_medium_train_SIXray_OPIXray No objects detected Detection preview by DN_Medium_300_yolov8m_20t7_new gun, knife Detection preview by Segmentatation_v8_medium_train_250 gun, knife Detection preview by Segmentation_V11_large_300_train_300 gun, knife Detection preview by Segmentation_v8_large_300_train_300
Original Image: P00905.jpg
GT: gun, knife
gun, knife Detection preview by Box_v11_medium_train_SIXray_OPIXray No objects detected Detection preview by DN_Medium_300_yolov8m_20t7_new gun, knife Detection preview by Segmentatation_v8_medium_train_250 gun, knife Detection preview by Segmentation_V11_large_300_train_300 gun, knife Detection preview by Segmentation_v8_large_300_train_300
Original Image: P00906.jpg
GT: gun, knife
gun, knife Detection preview by Box_v11_medium_train_SIXray_OPIXray No objects detected Detection preview by DN_Medium_300_yolov8m_20t7_new gun, knife Detection preview by Segmentatation_v8_medium_train_250 gun, knife Detection preview by Segmentation_V11_large_300_train_300 gun, knife Detection preview by Segmentation_v8_large_300_train_300
Original Image: P00907.jpg
GT: gun, knife
gun, knife Detection preview by Box_v11_medium_train_SIXray_OPIXray No objects detected Detection preview by DN_Medium_300_yolov8m_20t7_new gun, knife Detection preview by Segmentatation_v8_medium_train_250 gun, knife Detection preview by Segmentation_V11_large_300_train_300 gun, knife Detection preview by Segmentation_v8_large_300_train_300
Original Image: P00908.jpg
GT: knife
knife Detection preview by Box_v11_medium_train_SIXray_OPIXray No objects detected Detection preview by DN_Medium_300_yolov8m_20t7_new knife Detection preview by Segmentatation_v8_medium_train_250 knife Detection preview by Segmentation_V11_large_300_train_300 knife Detection preview by Segmentation_v8_large_300_train_300
Original Image: P00909.jpg
GT: gun, knife
gun, knife Detection preview by Box_v11_medium_train_SIXray_OPIXray No objects detected Detection preview by DN_Medium_300_yolov8m_20t7_new gun, knife Detection preview by Segmentatation_v8_medium_train_250 gun, knife Detection preview by Segmentation_V11_large_300_train_300 gun, knife Detection preview by Segmentation_v8_large_300_train_300
Original Image: P00910.jpg
GT: gun, knife
gun, knife Detection preview by Box_v11_medium_train_SIXray_OPIXray No objects detected Detection preview by DN_Medium_300_yolov8m_20t7_new gun, knife Detection preview by Segmentatation_v8_medium_train_250 gun, knife Detection preview by Segmentation_V11_large_300_train_300 gun, knife Detection preview by Segmentation_v8_large_300_train_300
Original Image: P00911.jpg
GT: knife
knife Detection preview by Box_v11_medium_train_SIXray_OPIXray No objects detected Detection preview by DN_Medium_300_yolov8m_20t7_new knife Detection preview by Segmentatation_v8_medium_train_250 knife Detection preview by Segmentation_V11_large_300_train_300 knife Detection preview by Segmentation_v8_large_300_train_300
Original Image: P00912.jpg
GT: gun, knife
gun, knife Detection preview by Box_v11_medium_train_SIXray_OPIXray No objects detected Detection preview by DN_Medium_300_yolov8m_20t7_new gun, knife Detection preview by Segmentatation_v8_medium_train_250 gun, knife Detection preview by Segmentation_V11_large_300_train_300 gun, knife Detection preview by Segmentation_v8_large_300_train_300
Original Image: P00913.jpg
GT: gun, knife
gun, knife Detection preview by Box_v11_medium_train_SIXray_OPIXray No objects detected Detection preview by DN_Medium_300_yolov8m_20t7_new gun, knife Detection preview by Segmentatation_v8_medium_train_250 gun, knife Detection preview by Segmentation_V11_large_300_train_300 gun, knife Detection preview by Segmentation_v8_large_300_train_300
Original Image: P00914.jpg
GT: gun, knife
gun, knife Detection preview by Box_v11_medium_train_SIXray_OPIXray No objects detected Detection preview by DN_Medium_300_yolov8m_20t7_new gun, knife Detection preview by Segmentatation_v8_medium_train_250 gun, knife Detection preview by Segmentation_V11_large_300_train_300 gun, knife Detection preview by Segmentation_v8_large_300_train_300
Original Image: P00915.jpg
GT: knife
knife Detection preview by Box_v11_medium_train_SIXray_OPIXray No objects detected Detection preview by DN_Medium_300_yolov8m_20t7_new knife Detection preview by Segmentatation_v8_medium_train_250 knife Detection preview by Segmentation_V11_large_300_train_300 knife Detection preview by Segmentation_v8_large_300_train_300
Original Image: P00916.jpg
GT: knife
knife Detection preview by Box_v11_medium_train_SIXray_OPIXray No objects detected Detection preview by DN_Medium_300_yolov8m_20t7_new knife Detection preview by Segmentatation_v8_medium_train_250 knife Detection preview by Segmentation_V11_large_300_train_300 knife Detection preview by Segmentation_v8_large_300_train_300
Original Image: P00917.jpg
GT: knife
knife Detection preview by Box_v11_medium_train_SIXray_OPIXray No objects detected Detection preview by DN_Medium_300_yolov8m_20t7_new knife Detection preview by Segmentatation_v8_medium_train_250 knife Detection preview by Segmentation_V11_large_300_train_300 knife Detection preview by Segmentation_v8_large_300_train_300
Original Image: P00918.jpg
GT: knife
knife Detection preview by Box_v11_medium_train_SIXray_OPIXray No objects detected Detection preview by DN_Medium_300_yolov8m_20t7_new knife Detection preview by Segmentatation_v8_medium_train_250 knife Detection preview by Segmentation_V11_large_300_train_300 knife Detection preview by Segmentation_v8_large_300_train_300
Original Image: P00919.jpg
GT: gun, knife
gun, knife Detection preview by Box_v11_medium_train_SIXray_OPIXray No objects detected Detection preview by DN_Medium_300_yolov8m_20t7_new gun, knife Detection preview by Segmentatation_v8_medium_train_250 gun, knife Detection preview by Segmentation_V11_large_300_train_300 gun, knife Detection preview by Segmentation_v8_large_300_train_300
Original Image: P00920.jpg
GT: gun, knife
gun, knife Detection preview by Box_v11_medium_train_SIXray_OPIXray No objects detected Detection preview by DN_Medium_300_yolov8m_20t7_new gun, knife Detection preview by Segmentatation_v8_medium_train_250 gun, knife Detection preview by Segmentation_V11_large_300_train_300 gun, knife Detection preview by Segmentation_v8_large_300_train_300
Original Image: P00921.jpg
GT: gun, knife
gun, knife Detection preview by Box_v11_medium_train_SIXray_OPIXray No objects detected Detection preview by DN_Medium_300_yolov8m_20t7_new gun, knife Detection preview by Segmentatation_v8_medium_train_250 gun, knife Detection preview by Segmentation_V11_large_300_train_300 gun, knife Detection preview by Segmentation_v8_large_300_train_300
Original Image: P00922.jpg
GT: knife
knife Detection preview by Box_v11_medium_train_SIXray_OPIXray knife Detection preview by DN_Medium_300_yolov8m_20t7_new knife Detection preview by Segmentatation_v8_medium_train_250 knife Detection preview by Segmentation_V11_large_300_train_300 knife Detection preview by Segmentation_v8_large_300_train_300
Original Image: P00923.jpg
GT: gun, pliers, wrench
gun, pliers, wrench Detection preview by Box_v11_medium_train_SIXray_OPIXray No objects detected Detection preview by DN_Medium_300_yolov8m_20t7_new gun Detection preview by Segmentatation_v8_medium_train_250 gun Detection preview by Segmentation_V11_large_300_train_300 gun Detection preview by Segmentation_v8_large_300_train_300
Original Image: P00924.jpg
GT: gun, pliers, wrench
gun, pliers, wrench Detection preview by Box_v11_medium_train_SIXray_OPIXray No objects detected Detection preview by DN_Medium_300_yolov8m_20t7_new gun Detection preview by Segmentatation_v8_medium_train_250 gun Detection preview by Segmentation_V11_large_300_train_300 gun Detection preview by Segmentation_v8_large_300_train_300
Original Image: P00925.jpg
GT: gun, pliers, wrench
gun, pliers, wrench Detection preview by Box_v11_medium_train_SIXray_OPIXray gun Detection preview by DN_Medium_300_yolov8m_20t7_new gun, wrench Detection preview by Segmentatation_v8_medium_train_250 gun, wrench Detection preview by Segmentation_V11_large_300_train_300 gun, wrench Detection preview by Segmentation_v8_large_300_train_300
Original Image: P00926.jpg
GT: gun, pliers, wrench
gun, pliers, wrench Detection preview by Box_v11_medium_train_SIXray_OPIXray No objects detected Detection preview by DN_Medium_300_yolov8m_20t7_new gun, wrench Detection preview by Segmentatation_v8_medium_train_250 gun, wrench Detection preview by Segmentation_V11_large_300_train_300 gun, wrench Detection preview by Segmentation_v8_large_300_train_300
Original Image: P00927.jpg
GT: gun, pliers, wrench
gun, pliers, wrench Detection preview by Box_v11_medium_train_SIXray_OPIXray gun Detection preview by DN_Medium_300_yolov8m_20t7_new gun, wrench Detection preview by Segmentatation_v8_medium_train_250 gun, wrench Detection preview by Segmentation_V11_large_300_train_300 gun, wrench Detection preview by Segmentation_v8_large_300_train_300
Original Image: P00928.jpg
GT: gun, pliers, wrench
gun, pliers, wrench Detection preview by Box_v11_medium_train_SIXray_OPIXray No objects detected Detection preview by DN_Medium_300_yolov8m_20t7_new gun, wrench Detection preview by Segmentatation_v8_medium_train_250 gun, wrench Detection preview by Segmentation_V11_large_300_train_300 gun, wrench Detection preview by Segmentation_v8_large_300_train_300
Original Image: P00929.jpg
GT: gun, pliers, wrench
gun, pliers, wrench Detection preview by Box_v11_medium_train_SIXray_OPIXray gun Detection preview by DN_Medium_300_yolov8m_20t7_new gun, wrench Detection preview by Segmentatation_v8_medium_train_250 gun, wrench Detection preview by Segmentation_V11_large_300_train_300 gun, wrench Detection preview by Segmentation_v8_large_300_train_300
Original Image: P00930.jpg
GT: gun, pliers, wrench
gun, pliers, wrench Detection preview by Box_v11_medium_train_SIXray_OPIXray gun Detection preview by DN_Medium_300_yolov8m_20t7_new gun, wrench Detection preview by Segmentatation_v8_medium_train_250 gun, wrench Detection preview by Segmentation_V11_large_300_train_300 gun, wrench Detection preview by Segmentation_v8_large_300_train_300
Original Image: P00931.jpg
GT: gun, wrench
gun, wrench Detection preview by Box_v11_medium_train_SIXray_OPIXray gun Detection preview by DN_Medium_300_yolov8m_20t7_new gun, wrench Detection preview by Segmentatation_v8_medium_train_250 gun, wrench Detection preview by Segmentation_V11_large_300_train_300 gun, wrench Detection preview by Segmentation_v8_large_300_train_300
Original Image: P00932.jpg
GT: gun, wrench
gun, wrench Detection preview by Box_v11_medium_train_SIXray_OPIXray gun Detection preview by DN_Medium_300_yolov8m_20t7_new gun, wrench Detection preview by Segmentatation_v8_medium_train_250 gun, wrench Detection preview by Segmentation_V11_large_300_train_300 gun, wrench Detection preview by Segmentation_v8_large_300_train_300
Original Image: P00933.jpg
GT: gun, wrench
gun, wrench Detection preview by Box_v11_medium_train_SIXray_OPIXray No objects detected Detection preview by DN_Medium_300_yolov8m_20t7_new gun, wrench Detection preview by Segmentatation_v8_medium_train_250 gun, wrench Detection preview by Segmentation_V11_large_300_train_300 gun, wrench Detection preview by Segmentation_v8_large_300_train_300
Original Image: P00934.jpg
GT: gun, wrench
gun, wrench Detection preview by Box_v11_medium_train_SIXray_OPIXray No objects detected Detection preview by DN_Medium_300_yolov8m_20t7_new gun, wrench Detection preview by Segmentatation_v8_medium_train_250 gun, wrench Detection preview by Segmentation_V11_large_300_train_300 gun, wrench Detection preview by Segmentation_v8_large_300_train_300
Original Image: P00935.jpg
GT: gun, wrench
gun, wrench Detection preview by Box_v11_medium_train_SIXray_OPIXray No objects detected Detection preview by DN_Medium_300_yolov8m_20t7_new gun, wrench Detection preview by Segmentatation_v8_medium_train_250 gun, wrench Detection preview by Segmentation_V11_large_300_train_300 gun, wrench Detection preview by Segmentation_v8_large_300_train_300
Original Image: P00936.jpg
GT: gun, wrench
gun, wrench Detection preview by Box_v11_medium_train_SIXray_OPIXray No objects detected Detection preview by DN_Medium_300_yolov8m_20t7_new gun, wrench Detection preview by Segmentatation_v8_medium_train_250 gun, wrench Detection preview by Segmentation_V11_large_300_train_300 gun, wrench Detection preview by Segmentation_v8_large_300_train_300
Original Image: P00937.jpg
GT: gun, wrench
gun, wrench Detection preview by Box_v11_medium_train_SIXray_OPIXray gun Detection preview by DN_Medium_300_yolov8m_20t7_new gun, wrench Detection preview by Segmentatation_v8_medium_train_250 gun, wrench Detection preview by Segmentation_V11_large_300_train_300 gun, wrench Detection preview by Segmentation_v8_large_300_train_300
Original Image: P00938.jpg
GT: gun, wrench
gun, wrench Detection preview by Box_v11_medium_train_SIXray_OPIXray gun Detection preview by DN_Medium_300_yolov8m_20t7_new gun, wrench Detection preview by Segmentatation_v8_medium_train_250 gun, wrench Detection preview by Segmentation_V11_large_300_train_300 gun, wrench Detection preview by Segmentation_v8_large_300_train_300
Original Image: P00939.jpg
GT: gun, wrench
gun, wrench Detection preview by Box_v11_medium_train_SIXray_OPIXray No objects detected Detection preview by DN_Medium_300_yolov8m_20t7_new gun, wrench Detection preview by Segmentatation_v8_medium_train_250 gun, wrench Detection preview by Segmentation_V11_large_300_train_300 gun, wrench Detection preview by Segmentation_v8_large_300_train_300
Original Image: P00940.jpg
GT: gun, wrench
gun, wrench Detection preview by Box_v11_medium_train_SIXray_OPIXray No objects detected Detection preview by DN_Medium_300_yolov8m_20t7_new gun, wrench Detection preview by Segmentatation_v8_medium_train_250 gun, wrench Detection preview by Segmentation_V11_large_300_train_300 gun, wrench Detection preview by Segmentation_v8_large_300_train_300
Original Image: P00941.jpg
GT: gun
gun Detection preview by Box_v11_medium_train_SIXray_OPIXray gun Detection preview by DN_Medium_300_yolov8m_20t7_new gun Detection preview by Segmentatation_v8_medium_train_250 gun Detection preview by Segmentation_V11_large_300_train_300 gun Detection preview by Segmentation_v8_large_300_train_300
Original Image: P00942.jpg
GT: gun
gun Detection preview by Box_v11_medium_train_SIXray_OPIXray gun Detection preview by DN_Medium_300_yolov8m_20t7_new gun Detection preview by Segmentatation_v8_medium_train_250 gun Detection preview by Segmentation_V11_large_300_train_300 gun Detection preview by Segmentation_v8_large_300_train_300
Original Image: P00943.jpg
GT: gun, wrench
gun, wrench Detection preview by Box_v11_medium_train_SIXray_OPIXray No objects detected Detection preview by DN_Medium_300_yolov8m_20t7_new gun, wrench Detection preview by Segmentatation_v8_medium_train_250 gun, wrench Detection preview by Segmentation_V11_large_300_train_300 gun, wrench Detection preview by Segmentation_v8_large_300_train_300
Original Image: P00944.jpg
GT: gun, wrench
gun, wrench Detection preview by Box_v11_medium_train_SIXray_OPIXray No objects detected Detection preview by DN_Medium_300_yolov8m_20t7_new gun, wrench Detection preview by Segmentatation_v8_medium_train_250 gun, wrench Detection preview by Segmentation_V11_large_300_train_300 gun, wrench Detection preview by Segmentation_v8_large_300_train_300
Original Image: P00945.jpg
GT: gun, pliers, wrench
gun, pliers, wrench Detection preview by Box_v11_medium_train_SIXray_OPIXray No objects detected Detection preview by DN_Medium_300_yolov8m_20t7_new gun, wrench Detection preview by Segmentatation_v8_medium_train_250 gun, wrench Detection preview by Segmentation_V11_large_300_train_300 gun, wrench Detection preview by Segmentation_v8_large_300_train_300
Original Image: P00946.jpg
GT: gun, pliers, wrench
gun, pliers, wrench Detection preview by Box_v11_medium_train_SIXray_OPIXray No objects detected Detection preview by DN_Medium_300_yolov8m_20t7_new gun, wrench Detection preview by Segmentatation_v8_medium_train_250 gun, wrench Detection preview by Segmentation_V11_large_300_train_300 gun, wrench Detection preview by Segmentation_v8_large_300_train_300
Original Image: P00947.jpg
GT: gun, pliers
gun, pliers, wrench Detection preview by Box_v11_medium_train_SIXray_OPIXray No objects detected Detection preview by DN_Medium_300_yolov8m_20t7_new gun, wrench Detection preview by Segmentatation_v8_medium_train_250 gun, wrench Detection preview by Segmentation_V11_large_300_train_300 gun, wrench Detection preview by Segmentation_v8_large_300_train_300
Original Image: P00948.jpg
GT: gun, pliers, wrench
gun, pliers, wrench Detection preview by Box_v11_medium_train_SIXray_OPIXray No objects detected Detection preview by DN_Medium_300_yolov8m_20t7_new gun Detection preview by Segmentatation_v8_medium_train_250 gun, wrench Detection preview by Segmentation_V11_large_300_train_300 gun Detection preview by Segmentation_v8_large_300_train_300
Original Image: P00949.jpg
GT: gun, pliers, wrench
gun, pliers, wrench Detection preview by Box_v11_medium_train_SIXray_OPIXray gun Detection preview by DN_Medium_300_yolov8m_20t7_new gun, wrench Detection preview by Segmentatation_v8_medium_train_250 gun, wrench Detection preview by Segmentation_V11_large_300_train_300 gun, wrench Detection preview by Segmentation_v8_large_300_train_300
Original Image: P00950.jpg
GT: gun, pliers, wrench
gun, pliers, wrench Detection preview by Box_v11_medium_train_SIXray_OPIXray gun Detection preview by DN_Medium_300_yolov8m_20t7_new gun, wrench Detection preview by Segmentatation_v8_medium_train_250 gun, wrench Detection preview by Segmentation_V11_large_300_train_300 gun, wrench Detection preview by Segmentation_v8_large_300_train_300
Original Image: P00951.jpg
GT: gun, pliers, wrench
gun, pliers, wrench Detection preview by Box_v11_medium_train_SIXray_OPIXray No objects detected Detection preview by DN_Medium_300_yolov8m_20t7_new gun, wrench Detection preview by Segmentatation_v8_medium_train_250 gun, wrench Detection preview by Segmentation_V11_large_300_train_300 gun, wrench Detection preview by Segmentation_v8_large_300_train_300
Original Image: P00952.jpg
GT: gun, pliers, wrench
gun, pliers, wrench Detection preview by Box_v11_medium_train_SIXray_OPIXray No objects detected Detection preview by DN_Medium_300_yolov8m_20t7_new gun, wrench Detection preview by Segmentatation_v8_medium_train_250 gun, wrench Detection preview by Segmentation_V11_large_300_train_300 gun, wrench Detection preview by Segmentation_v8_large_300_train_300
Original Image: P00953.jpg
GT: gun, pliers, wrench
gun, pliers, wrench Detection preview by Box_v11_medium_train_SIXray_OPIXray gun Detection preview by DN_Medium_300_yolov8m_20t7_new gun, wrench Detection preview by Segmentatation_v8_medium_train_250 gun, wrench Detection preview by Segmentation_V11_large_300_train_300 gun, wrench Detection preview by Segmentation_v8_large_300_train_300
Original Image: P00954.jpg
GT: gun, pliers, wrench
gun, pliers, wrench Detection preview by Box_v11_medium_train_SIXray_OPIXray No objects detected Detection preview by DN_Medium_300_yolov8m_20t7_new gun, wrench Detection preview by Segmentatation_v8_medium_train_250 gun, wrench Detection preview by Segmentation_V11_large_300_train_300 gun, wrench Detection preview by Segmentation_v8_large_300_train_300
Original Image: P00955.jpg
GT: gun, pliers, wrench
gun, pliers, wrench Detection preview by Box_v11_medium_train_SIXray_OPIXray No objects detected Detection preview by DN_Medium_300_yolov8m_20t7_new gun, wrench Detection preview by Segmentatation_v8_medium_train_250 gun, wrench Detection preview by Segmentation_V11_large_300_train_300 gun, wrench Detection preview by Segmentation_v8_large_300_train_300
Original Image: P00956.jpg
GT: gun, pliers, wrench
gun, pliers, wrench Detection preview by Box_v11_medium_train_SIXray_OPIXray No objects detected Detection preview by DN_Medium_300_yolov8m_20t7_new gun, wrench Detection preview by Segmentatation_v8_medium_train_250 gun, wrench Detection preview by Segmentation_V11_large_300_train_300 gun, wrench Detection preview by Segmentation_v8_large_300_train_300
Original Image: P00957.jpg
GT: gun, pliers, wrench
gun, pliers, wrench Detection preview by Box_v11_medium_train_SIXray_OPIXray pliers Detection preview by DN_Medium_300_yolov8m_20t7_new gun, wrench Detection preview by Segmentatation_v8_medium_train_250 gun, wrench Detection preview by Segmentation_V11_large_300_train_300 gun, wrench Detection preview by Segmentation_v8_large_300_train_300
Original Image: P00958.jpg
GT: gun, pliers, wrench
gun, pliers, wrench Detection preview by Box_v11_medium_train_SIXray_OPIXray pliers Detection preview by DN_Medium_300_yolov8m_20t7_new gun, wrench Detection preview by Segmentatation_v8_medium_train_250 gun, wrench Detection preview by Segmentation_V11_large_300_train_300 gun, wrench Detection preview by Segmentation_v8_large_300_train_300
Original Image: P00959.jpg
GT: gun, pliers, wrench
gun, pliers, wrench Detection preview by Box_v11_medium_train_SIXray_OPIXray No objects detected Detection preview by DN_Medium_300_yolov8m_20t7_new gun, wrench Detection preview by Segmentatation_v8_medium_train_250 gun, wrench Detection preview by Segmentation_V11_large_300_train_300 gun, wrench Detection preview by Segmentation_v8_large_300_train_300
Original Image: P00960.jpg
GT: gun, pliers, wrench
gun, pliers, wrench Detection preview by Box_v11_medium_train_SIXray_OPIXray No objects detected Detection preview by DN_Medium_300_yolov8m_20t7_new gun, wrench Detection preview by Segmentatation_v8_medium_train_250 gun, wrench Detection preview by Segmentation_V11_large_300_train_300 gun, wrench Detection preview by Segmentation_v8_large_300_train_300
Original Image: P00961.jpg
GT: gun, pliers, wrench
gun, pliers, wrench Detection preview by Box_v11_medium_train_SIXray_OPIXray pliers Detection preview by DN_Medium_300_yolov8m_20t7_new gun, knife, wrench Detection preview by Segmentatation_v8_medium_train_250 gun, wrench Detection preview by Segmentation_V11_large_300_train_300 gun, wrench Detection preview by Segmentation_v8_large_300_train_300
Original Image: P00962.jpg
GT: gun, pliers, wrench
gun, pliers, wrench Detection preview by Box_v11_medium_train_SIXray_OPIXray pliers Detection preview by DN_Medium_300_yolov8m_20t7_new gun, wrench Detection preview by Segmentatation_v8_medium_train_250 gun, wrench Detection preview by Segmentation_V11_large_300_train_300 gun, wrench Detection preview by Segmentation_v8_large_300_train_300
Original Image: P00963.jpg
GT: gun, pliers, wrench
gun, pliers, wrench Detection preview by Box_v11_medium_train_SIXray_OPIXray No objects detected Detection preview by DN_Medium_300_yolov8m_20t7_new gun, wrench Detection preview by Segmentatation_v8_medium_train_250 gun, wrench Detection preview by Segmentation_V11_large_300_train_300 gun, wrench Detection preview by Segmentation_v8_large_300_train_300
Original Image: P00964.jpg
GT: gun, pliers, wrench
gun, pliers, wrench Detection preview by Box_v11_medium_train_SIXray_OPIXray No objects detected Detection preview by DN_Medium_300_yolov8m_20t7_new gun, wrench Detection preview by Segmentatation_v8_medium_train_250 gun, wrench Detection preview by Segmentation_V11_large_300_train_300 gun, wrench Detection preview by Segmentation_v8_large_300_train_300
Original Image: P00965.jpg
GT: gun, pliers, wrench
gun, pliers, wrench Detection preview by Box_v11_medium_train_SIXray_OPIXray No objects detected Detection preview by DN_Medium_300_yolov8m_20t7_new gun, wrench Detection preview by Segmentatation_v8_medium_train_250 gun, wrench Detection preview by Segmentation_V11_large_300_train_300 gun, wrench Detection preview by Segmentation_v8_large_300_train_300
Original Image: P00966.jpg
GT: gun, pliers, wrench
gun, pliers, wrench Detection preview by Box_v11_medium_train_SIXray_OPIXray No objects detected Detection preview by DN_Medium_300_yolov8m_20t7_new gun, wrench Detection preview by Segmentatation_v8_medium_train_250 gun, wrench Detection preview by Segmentation_V11_large_300_train_300 gun, wrench Detection preview by Segmentation_v8_large_300_train_300
Original Image: P00967.jpg
GT: gun, pliers, wrench
gun, pliers, wrench Detection preview by Box_v11_medium_train_SIXray_OPIXray pliers Detection preview by DN_Medium_300_yolov8m_20t7_new gun, wrench Detection preview by Segmentatation_v8_medium_train_250 gun, wrench Detection preview by Segmentation_V11_large_300_train_300 gun, wrench Detection preview by Segmentation_v8_large_300_train_300
Original Image: P00968.jpg
GT: gun, pliers, wrench
gun, pliers, wrench Detection preview by Box_v11_medium_train_SIXray_OPIXray pliers Detection preview by DN_Medium_300_yolov8m_20t7_new gun, wrench Detection preview by Segmentatation_v8_medium_train_250 gun, wrench Detection preview by Segmentation_V11_large_300_train_300 gun, wrench Detection preview by Segmentation_v8_large_300_train_300
Original Image: P00969.jpg
GT: gun, pliers, wrench
gun, pliers, wrench Detection preview by Box_v11_medium_train_SIXray_OPIXray gun Detection preview by DN_Medium_300_yolov8m_20t7_new gun, wrench Detection preview by Segmentatation_v8_medium_train_250 gun, wrench Detection preview by Segmentation_V11_large_300_train_300 gun, wrench Detection preview by Segmentation_v8_large_300_train_300
Original Image: P00970.jpg
GT: gun, pliers, wrench
gun, pliers, wrench Detection preview by Box_v11_medium_train_SIXray_OPIXray No objects detected Detection preview by DN_Medium_300_yolov8m_20t7_new gun, wrench Detection preview by Segmentatation_v8_medium_train_250 gun, wrench Detection preview by Segmentation_V11_large_300_train_300 gun, wrench Detection preview by Segmentation_v8_large_300_train_300
Original Image: P00971.jpg
GT: gun, pliers, wrench
gun, pliers, wrench Detection preview by Box_v11_medium_train_SIXray_OPIXray wrench Detection preview by DN_Medium_300_yolov8m_20t7_new gun, wrench Detection preview by Segmentatation_v8_medium_train_250 gun, wrench Detection preview by Segmentation_V11_large_300_train_300 gun, wrench Detection preview by Segmentation_v8_large_300_train_300
Original Image: P00972.jpg
GT: gun, pliers, wrench
gun, pliers, wrench Detection preview by Box_v11_medium_train_SIXray_OPIXray wrench Detection preview by DN_Medium_300_yolov8m_20t7_new gun, wrench Detection preview by Segmentatation_v8_medium_train_250 gun, wrench Detection preview by Segmentation_V11_large_300_train_300 gun, wrench Detection preview by Segmentation_v8_large_300_train_300
Original Image: P00973.jpg
GT: gun, pliers, wrench
gun, pliers, wrench Detection preview by Box_v11_medium_train_SIXray_OPIXray No objects detected Detection preview by DN_Medium_300_yolov8m_20t7_new gun, wrench Detection preview by Segmentatation_v8_medium_train_250 gun, wrench Detection preview by Segmentation_V11_large_300_train_300 gun, wrench Detection preview by Segmentation_v8_large_300_train_300
Original Image: P00974.jpg
GT: gun, pliers, wrench
gun, pliers, wrench Detection preview by Box_v11_medium_train_SIXray_OPIXray No objects detected Detection preview by DN_Medium_300_yolov8m_20t7_new gun, wrench Detection preview by Segmentatation_v8_medium_train_250 gun, wrench Detection preview by Segmentation_V11_large_300_train_300 gun, wrench Detection preview by Segmentation_v8_large_300_train_300
Original Image: P00975.jpg
GT: gun, pliers, wrench
gun, pliers, wrench Detection preview by Box_v11_medium_train_SIXray_OPIXray No objects detected Detection preview by DN_Medium_300_yolov8m_20t7_new gun, wrench Detection preview by Segmentatation_v8_medium_train_250 gun, wrench Detection preview by Segmentation_V11_large_300_train_300 gun, wrench Detection preview by Segmentation_v8_large_300_train_300
Original Image: P00976.jpg
GT: gun, pliers, wrench
gun, pliers, wrench Detection preview by Box_v11_medium_train_SIXray_OPIXray scissor, wrench Detection preview by DN_Medium_300_yolov8m_20t7_new gun, wrench Detection preview by Segmentatation_v8_medium_train_250 gun, wrench Detection preview by Segmentation_V11_large_300_train_300 gun, wrench Detection preview by Segmentation_v8_large_300_train_300
Original Image: P00977.jpg
GT: gun, pliers, wrench
gun, pliers, wrench Detection preview by Box_v11_medium_train_SIXray_OPIXray gun, wrench Detection preview by DN_Medium_300_yolov8m_20t7_new gun, wrench Detection preview by Segmentatation_v8_medium_train_250 gun, wrench Detection preview by Segmentation_V11_large_300_train_300 gun, wrench Detection preview by Segmentation_v8_large_300_train_300
Original Image: P00978.jpg
GT: gun, pliers, wrench
gun, pliers, wrench Detection preview by Box_v11_medium_train_SIXray_OPIXray No objects detected Detection preview by DN_Medium_300_yolov8m_20t7_new gun, wrench Detection preview by Segmentatation_v8_medium_train_250 gun, wrench Detection preview by Segmentation_V11_large_300_train_300 gun, wrench Detection preview by Segmentation_v8_large_300_train_300
Original Image: P00979.jpg
GT: gun, pliers, wrench
gun, pliers, wrench Detection preview by Box_v11_medium_train_SIXray_OPIXray gun Detection preview by DN_Medium_300_yolov8m_20t7_new gun, wrench Detection preview by Segmentatation_v8_medium_train_250 gun, wrench Detection preview by Segmentation_V11_large_300_train_300 gun, wrench Detection preview by Segmentation_v8_large_300_train_300
Original Image: P00980.jpg
GT: gun, pliers, wrench
gun, pliers, wrench Detection preview by Box_v11_medium_train_SIXray_OPIXray No objects detected Detection preview by DN_Medium_300_yolov8m_20t7_new gun, wrench Detection preview by Segmentatation_v8_medium_train_250 gun, wrench Detection preview by Segmentation_V11_large_300_train_300 gun, wrench Detection preview by Segmentation_v8_large_300_train_300
Original Image: P00981.jpg
GT: gun, pliers
gun, pliers Detection preview by Box_v11_medium_train_SIXray_OPIXray No objects detected Detection preview by DN_Medium_300_yolov8m_20t7_new gun Detection preview by Segmentatation_v8_medium_train_250 gun Detection preview by Segmentation_V11_large_300_train_300 gun Detection preview by Segmentation_v8_large_300_train_300
Original Image: P00982.jpg
GT: gun, pliers
gun, pliers Detection preview by Box_v11_medium_train_SIXray_OPIXray No objects detected Detection preview by DN_Medium_300_yolov8m_20t7_new gun Detection preview by Segmentatation_v8_medium_train_250 gun Detection preview by Segmentation_V11_large_300_train_300 gun Detection preview by Segmentation_v8_large_300_train_300
Original Image: P00983.jpg
GT: gun, pliers
gun, pliers Detection preview by Box_v11_medium_train_SIXray_OPIXray No objects detected Detection preview by DN_Medium_300_yolov8m_20t7_new gun Detection preview by Segmentatation_v8_medium_train_250 gun Detection preview by Segmentation_V11_large_300_train_300 gun Detection preview by Segmentation_v8_large_300_train_300
Original Image: P00984.jpg
GT: gun, pliers
gun, pliers Detection preview by Box_v11_medium_train_SIXray_OPIXray No objects detected Detection preview by DN_Medium_300_yolov8m_20t7_new gun Detection preview by Segmentatation_v8_medium_train_250 gun Detection preview by Segmentation_V11_large_300_train_300 gun Detection preview by Segmentation_v8_large_300_train_300
Original Image: P00985.jpg
GT: gun, pliers
gun, pliers Detection preview by Box_v11_medium_train_SIXray_OPIXray No objects detected Detection preview by DN_Medium_300_yolov8m_20t7_new gun Detection preview by Segmentatation_v8_medium_train_250 gun Detection preview by Segmentation_V11_large_300_train_300 gun Detection preview by Segmentation_v8_large_300_train_300
Original Image: P00986.jpg
GT: gun, pliers
gun, pliers Detection preview by Box_v11_medium_train_SIXray_OPIXray No objects detected Detection preview by DN_Medium_300_yolov8m_20t7_new gun Detection preview by Segmentatation_v8_medium_train_250 gun Detection preview by Segmentation_V11_large_300_train_300 gun Detection preview by Segmentation_v8_large_300_train_300
Original Image: P00987.jpg
GT: gun, pliers
gun, pliers Detection preview by Box_v11_medium_train_SIXray_OPIXray No objects detected Detection preview by DN_Medium_300_yolov8m_20t7_new gun Detection preview by Segmentatation_v8_medium_train_250 gun Detection preview by Segmentation_V11_large_300_train_300 gun Detection preview by Segmentation_v8_large_300_train_300
Original Image: P00988.jpg
GT: gun, pliers
gun, pliers Detection preview by Box_v11_medium_train_SIXray_OPIXray No objects detected Detection preview by DN_Medium_300_yolov8m_20t7_new gun Detection preview by Segmentatation_v8_medium_train_250 gun Detection preview by Segmentation_V11_large_300_train_300 gun Detection preview by Segmentation_v8_large_300_train_300
Original Image: P00989.jpg
GT: gun, pliers
gun, pliers Detection preview by Box_v11_medium_train_SIXray_OPIXray No objects detected Detection preview by DN_Medium_300_yolov8m_20t7_new gun Detection preview by Segmentatation_v8_medium_train_250 gun Detection preview by Segmentation_V11_large_300_train_300 gun Detection preview by Segmentation_v8_large_300_train_300
Original Image: P00990.jpg
GT: gun
gun Detection preview by Box_v11_medium_train_SIXray_OPIXray No objects detected Detection preview by DN_Medium_300_yolov8m_20t7_new gun, knife Detection preview by Segmentatation_v8_medium_train_250 gun Detection preview by Segmentation_V11_large_300_train_300 gun Detection preview by Segmentation_v8_large_300_train_300
Original Image: P00991.jpg
GT: gun
gun Detection preview by Box_v11_medium_train_SIXray_OPIXray gun Detection preview by DN_Medium_300_yolov8m_20t7_new gun Detection preview by Segmentatation_v8_medium_train_250 gun Detection preview by Segmentation_V11_large_300_train_300 gun Detection preview by Segmentation_v8_large_300_train_300
Original Image: P00992.jpg
GT: gun
gun Detection preview by Box_v11_medium_train_SIXray_OPIXray gun Detection preview by DN_Medium_300_yolov8m_20t7_new gun Detection preview by Segmentatation_v8_medium_train_250 gun Detection preview by Segmentation_V11_large_300_train_300 gun Detection preview by Segmentation_v8_large_300_train_300
Original Image: P00993.jpg
GT: gun
gun Detection preview by Box_v11_medium_train_SIXray_OPIXray No objects detected Detection preview by DN_Medium_300_yolov8m_20t7_new gun Detection preview by Segmentatation_v8_medium_train_250 gun Detection preview by Segmentation_V11_large_300_train_300 gun Detection preview by Segmentation_v8_large_300_train_300
Original Image: P00994.jpg
GT: gun
gun Detection preview by Box_v11_medium_train_SIXray_OPIXray No objects detected Detection preview by DN_Medium_300_yolov8m_20t7_new gun Detection preview by Segmentatation_v8_medium_train_250 gun Detection preview by Segmentation_V11_large_300_train_300 gun Detection preview by Segmentation_v8_large_300_train_300
Original Image: P00995.jpg
GT: gun, pliers
gun, pliers Detection preview by Box_v11_medium_train_SIXray_OPIXray pliers Detection preview by DN_Medium_300_yolov8m_20t7_new gun Detection preview by Segmentatation_v8_medium_train_250 gun Detection preview by Segmentation_V11_large_300_train_300 gun Detection preview by Segmentation_v8_large_300_train_300
Original Image: P00996.jpg
GT: gun, pliers
gun, pliers Detection preview by Box_v11_medium_train_SIXray_OPIXray pliers Detection preview by DN_Medium_300_yolov8m_20t7_new gun Detection preview by Segmentatation_v8_medium_train_250 gun Detection preview by Segmentation_V11_large_300_train_300 gun Detection preview by Segmentation_v8_large_300_train_300
Original Image: P00997.jpg
GT: gun, pliers
gun, pliers Detection preview by Box_v11_medium_train_SIXray_OPIXray gun, pliers Detection preview by DN_Medium_300_yolov8m_20t7_new gun Detection preview by Segmentatation_v8_medium_train_250 gun Detection preview by Segmentation_V11_large_300_train_300 gun Detection preview by Segmentation_v8_large_300_train_300
Original Image: P00998.jpg
GT: gun, pliers
gun, pliers Detection preview by Box_v11_medium_train_SIXray_OPIXray No objects detected Detection preview by DN_Medium_300_yolov8m_20t7_new gun Detection preview by Segmentatation_v8_medium_train_250 gun Detection preview by Segmentation_V11_large_300_train_300 gun Detection preview by Segmentation_v8_large_300_train_300
Original Image: P00999.jpg
GT: gun, pliers
gun, pliers Detection preview by Box_v11_medium_train_SIXray_OPIXray gun Detection preview by DN_Medium_300_yolov8m_20t7_new gun Detection preview by Segmentatation_v8_medium_train_250 gun Detection preview by Segmentation_V11_large_300_train_300 gun Detection preview by Segmentation_v8_large_300_train_300
Original Image: P01000.jpg
GT: gun, pliers
gun, pliers Detection preview by Box_v11_medium_train_SIXray_OPIXray No objects detected Detection preview by DN_Medium_300_yolov8m_20t7_new gun Detection preview by Segmentatation_v8_medium_train_250 gun Detection preview by Segmentation_V11_large_300_train_300 gun Detection preview by Segmentation_v8_large_300_train_300
Original Image: P01001.jpg
GT: gun, pliers
gun, pliers Detection preview by Box_v11_medium_train_SIXray_OPIXray gun Detection preview by DN_Medium_300_yolov8m_20t7_new gun Detection preview by Segmentatation_v8_medium_train_250 gun Detection preview by Segmentation_V11_large_300_train_300 gun Detection preview by Segmentation_v8_large_300_train_300
Original Image: P01002.jpg
GT: gun, pliers
gun, pliers Detection preview by Box_v11_medium_train_SIXray_OPIXray No objects detected Detection preview by DN_Medium_300_yolov8m_20t7_new gun Detection preview by Segmentatation_v8_medium_train_250 gun Detection preview by Segmentation_V11_large_300_train_300 gun Detection preview by Segmentation_v8_large_300_train_300
Original Image: P01003.jpg
GT: gun, pliers
gun, pliers Detection preview by Box_v11_medium_train_SIXray_OPIXray No objects detected Detection preview by DN_Medium_300_yolov8m_20t7_new gun Detection preview by Segmentatation_v8_medium_train_250 gun Detection preview by Segmentation_V11_large_300_train_300 gun Detection preview by Segmentation_v8_large_300_train_300
Original Image: P01004.jpg
GT: gun, pliers
gun, pliers Detection preview by Box_v11_medium_train_SIXray_OPIXray No objects detected Detection preview by DN_Medium_300_yolov8m_20t7_new gun Detection preview by Segmentatation_v8_medium_train_250 gun Detection preview by Segmentation_V11_large_300_train_300 gun Detection preview by Segmentation_v8_large_300_train_300
Original Image: P01005.jpg
GT: gun, pliers
gun, pliers Detection preview by Box_v11_medium_train_SIXray_OPIXray No objects detected Detection preview by DN_Medium_300_yolov8m_20t7_new gun Detection preview by Segmentatation_v8_medium_train_250 gun Detection preview by Segmentation_V11_large_300_train_300 gun Detection preview by Segmentation_v8_large_300_train_300
Original Image: P01006.jpg
GT: gun, pliers
gun, pliers Detection preview by Box_v11_medium_train_SIXray_OPIXray No objects detected Detection preview by DN_Medium_300_yolov8m_20t7_new gun Detection preview by Segmentatation_v8_medium_train_250 gun Detection preview by Segmentation_V11_large_300_train_300 gun Detection preview by Segmentation_v8_large_300_train_300
Original Image: P01007.jpg
GT: gun, pliers
gun, pliers Detection preview by Box_v11_medium_train_SIXray_OPIXray No objects detected Detection preview by DN_Medium_300_yolov8m_20t7_new gun Detection preview by Segmentatation_v8_medium_train_250 gun Detection preview by Segmentation_V11_large_300_train_300 gun Detection preview by Segmentation_v8_large_300_train_300
Original Image: P01008.jpg
GT: gun, pliers
gun, pliers Detection preview by Box_v11_medium_train_SIXray_OPIXray pliers Detection preview by DN_Medium_300_yolov8m_20t7_new gun Detection preview by Segmentatation_v8_medium_train_250 gun Detection preview by Segmentation_V11_large_300_train_300 gun Detection preview by Segmentation_v8_large_300_train_300
Original Image: P01009.jpg
GT: gun, pliers
gun, pliers Detection preview by Box_v11_medium_train_SIXray_OPIXray No objects detected Detection preview by DN_Medium_300_yolov8m_20t7_new gun Detection preview by Segmentatation_v8_medium_train_250 gun Detection preview by Segmentation_V11_large_300_train_300 gun Detection preview by Segmentation_v8_large_300_train_300
Original Image: P01010.jpg
GT: gun, pliers
gun, pliers Detection preview by Box_v11_medium_train_SIXray_OPIXray No objects detected Detection preview by DN_Medium_300_yolov8m_20t7_new gun Detection preview by Segmentatation_v8_medium_train_250 gun Detection preview by Segmentation_V11_large_300_train_300 gun Detection preview by Segmentation_v8_large_300_train_300
Original Image: P01011.jpg
GT: gun, pliers
gun, pliers Detection preview by Box_v11_medium_train_SIXray_OPIXray No objects detected Detection preview by DN_Medium_300_yolov8m_20t7_new gun Detection preview by Segmentatation_v8_medium_train_250 gun Detection preview by Segmentation_V11_large_300_train_300 gun Detection preview by Segmentation_v8_large_300_train_300
Original Image: P01012.jpg
GT: gun, pliers
gun, pliers Detection preview by Box_v11_medium_train_SIXray_OPIXray No objects detected Detection preview by DN_Medium_300_yolov8m_20t7_new gun Detection preview by Segmentatation_v8_medium_train_250 gun Detection preview by Segmentation_V11_large_300_train_300 gun Detection preview by Segmentation_v8_large_300_train_300
Original Image: P01013.jpg
GT: gun, pliers
gun, pliers Detection preview by Box_v11_medium_train_SIXray_OPIXray No objects detected Detection preview by DN_Medium_300_yolov8m_20t7_new gun Detection preview by Segmentatation_v8_medium_train_250 gun Detection preview by Segmentation_V11_large_300_train_300 gun Detection preview by Segmentation_v8_large_300_train_300
Original Image: P01014.jpg
GT: gun, pliers
gun, pliers Detection preview by Box_v11_medium_train_SIXray_OPIXray gun Detection preview by DN_Medium_300_yolov8m_20t7_new gun Detection preview by Segmentatation_v8_medium_train_250 gun Detection preview by Segmentation_V11_large_300_train_300 gun Detection preview by Segmentation_v8_large_300_train_300
Original Image: P01015.jpg
GT: gun, pliers
gun, pliers Detection preview by Box_v11_medium_train_SIXray_OPIXray gun Detection preview by DN_Medium_300_yolov8m_20t7_new gun Detection preview by Segmentatation_v8_medium_train_250 gun Detection preview by Segmentation_V11_large_300_train_300 gun Detection preview by Segmentation_v8_large_300_train_300
Original Image: P01016.jpg
GT: gun, pliers
gun, pliers Detection preview by Box_v11_medium_train_SIXray_OPIXray gun, pliers Detection preview by DN_Medium_300_yolov8m_20t7_new gun Detection preview by Segmentatation_v8_medium_train_250 gun Detection preview by Segmentation_V11_large_300_train_300 gun Detection preview by Segmentation_v8_large_300_train_300
Original Image: P01017.jpg
GT: gun, pliers
gun, pliers Detection preview by Box_v11_medium_train_SIXray_OPIXray No objects detected Detection preview by DN_Medium_300_yolov8m_20t7_new gun Detection preview by Segmentatation_v8_medium_train_250 gun Detection preview by Segmentation_V11_large_300_train_300 gun Detection preview by Segmentation_v8_large_300_train_300
Original Image: P01018.jpg
GT: gun, pliers
gun, pliers Detection preview by Box_v11_medium_train_SIXray_OPIXray pliers Detection preview by DN_Medium_300_yolov8m_20t7_new gun Detection preview by Segmentatation_v8_medium_train_250 gun Detection preview by Segmentation_V11_large_300_train_300 gun Detection preview by Segmentation_v8_large_300_train_300
Original Image: P01019.jpg
GT: gun, pliers
gun, pliers Detection preview by Box_v11_medium_train_SIXray_OPIXray pliers Detection preview by DN_Medium_300_yolov8m_20t7_new gun Detection preview by Segmentatation_v8_medium_train_250 gun Detection preview by Segmentation_V11_large_300_train_300 gun Detection preview by Segmentation_v8_large_300_train_300
Original Image: P01020.jpg
GT: gun, pliers
gun, pliers Detection preview by Box_v11_medium_train_SIXray_OPIXray gun, pliers Detection preview by DN_Medium_300_yolov8m_20t7_new gun Detection preview by Segmentatation_v8_medium_train_250 gun Detection preview by Segmentation_V11_large_300_train_300 gun Detection preview by Segmentation_v8_large_300_train_300
Original Image: P01021.jpg
GT: gun, pliers
gun, pliers Detection preview by Box_v11_medium_train_SIXray_OPIXray pliers Detection preview by DN_Medium_300_yolov8m_20t7_new gun Detection preview by Segmentatation_v8_medium_train_250 gun Detection preview by Segmentation_V11_large_300_train_300 gun Detection preview by Segmentation_v8_large_300_train_300
Original Image: P01022.jpg
GT: gun, pliers
gun, pliers Detection preview by Box_v11_medium_train_SIXray_OPIXray pliers Detection preview by DN_Medium_300_yolov8m_20t7_new gun Detection preview by Segmentatation_v8_medium_train_250 gun Detection preview by Segmentation_V11_large_300_train_300 gun Detection preview by Segmentation_v8_large_300_train_300
Original Image: P01023.jpg
GT: gun, pliers
gun, pliers Detection preview by Box_v11_medium_train_SIXray_OPIXray pliers Detection preview by DN_Medium_300_yolov8m_20t7_new gun Detection preview by Segmentatation_v8_medium_train_250 gun Detection preview by Segmentation_V11_large_300_train_300 gun Detection preview by Segmentation_v8_large_300_train_300
Original Image: P01024.jpg
GT: gun, pliers
gun, pliers Detection preview by Box_v11_medium_train_SIXray_OPIXray pliers Detection preview by DN_Medium_300_yolov8m_20t7_new gun Detection preview by Segmentatation_v8_medium_train_250 gun Detection preview by Segmentation_V11_large_300_train_300 gun Detection preview by Segmentation_v8_large_300_train_300
Original Image: P01025.jpg
GT: gun, pliers
gun, pliers Detection preview by Box_v11_medium_train_SIXray_OPIXray pliers Detection preview by DN_Medium_300_yolov8m_20t7_new gun Detection preview by Segmentatation_v8_medium_train_250 gun Detection preview by Segmentation_V11_large_300_train_300 gun Detection preview by Segmentation_v8_large_300_train_300
Original Image: P01026.jpg
GT: gun, pliers
gun, pliers Detection preview by Box_v11_medium_train_SIXray_OPIXray pliers Detection preview by DN_Medium_300_yolov8m_20t7_new gun Detection preview by Segmentatation_v8_medium_train_250 gun Detection preview by Segmentation_V11_large_300_train_300 gun Detection preview by Segmentation_v8_large_300_train_300
Original Image: P01027.jpg
GT: gun, pliers
gun, pliers Detection preview by Box_v11_medium_train_SIXray_OPIXray No objects detected Detection preview by DN_Medium_300_yolov8m_20t7_new gun Detection preview by Segmentatation_v8_medium_train_250 gun Detection preview by Segmentation_V11_large_300_train_300 gun Detection preview by Segmentation_v8_large_300_train_300
Original Image: P01028.jpg
GT: gun, pliers
gun, pliers Detection preview by Box_v11_medium_train_SIXray_OPIXray No objects detected Detection preview by DN_Medium_300_yolov8m_20t7_new gun Detection preview by Segmentatation_v8_medium_train_250 gun Detection preview by Segmentation_V11_large_300_train_300 gun Detection preview by Segmentation_v8_large_300_train_300
Original Image: P01029.jpg
GT: gun, pliers
gun, pliers Detection preview by Box_v11_medium_train_SIXray_OPIXray No objects detected Detection preview by DN_Medium_300_yolov8m_20t7_new gun Detection preview by Segmentatation_v8_medium_train_250 gun Detection preview by Segmentation_V11_large_300_train_300 gun Detection preview by Segmentation_v8_large_300_train_300
Original Image: P01030.jpg
GT: gun, pliers
gun, pliers Detection preview by Box_v11_medium_train_SIXray_OPIXray No objects detected Detection preview by DN_Medium_300_yolov8m_20t7_new gun Detection preview by Segmentatation_v8_medium_train_250 gun Detection preview by Segmentation_V11_large_300_train_300 gun Detection preview by Segmentation_v8_large_300_train_300
Original Image: P01031.jpg
GT: gun, pliers
gun, pliers Detection preview by Box_v11_medium_train_SIXray_OPIXray No objects detected Detection preview by DN_Medium_300_yolov8m_20t7_new gun Detection preview by Segmentatation_v8_medium_train_250 gun Detection preview by Segmentation_V11_large_300_train_300 gun Detection preview by Segmentation_v8_large_300_train_300
Original Image: P01032.jpg
GT: gun, pliers
gun, pliers Detection preview by Box_v11_medium_train_SIXray_OPIXray No objects detected Detection preview by DN_Medium_300_yolov8m_20t7_new gun Detection preview by Segmentatation_v8_medium_train_250 gun Detection preview by Segmentation_V11_large_300_train_300 gun Detection preview by Segmentation_v8_large_300_train_300
Original Image: P01033.jpg
GT: gun, pliers
gun, pliers Detection preview by Box_v11_medium_train_SIXray_OPIXray No objects detected Detection preview by DN_Medium_300_yolov8m_20t7_new gun Detection preview by Segmentatation_v8_medium_train_250 gun Detection preview by Segmentation_V11_large_300_train_300 gun Detection preview by Segmentation_v8_large_300_train_300
Original Image: P01034.jpg
GT: gun, pliers
gun, pliers Detection preview by Box_v11_medium_train_SIXray_OPIXray No objects detected Detection preview by DN_Medium_300_yolov8m_20t7_new gun Detection preview by Segmentatation_v8_medium_train_250 gun Detection preview by Segmentation_V11_large_300_train_300 gun Detection preview by Segmentation_v8_large_300_train_300
Original Image: P01035.jpg
GT: gun
gun Detection preview by Box_v11_medium_train_SIXray_OPIXray No objects detected Detection preview by DN_Medium_300_yolov8m_20t7_new gun Detection preview by Segmentatation_v8_medium_train_250 gun Detection preview by Segmentation_V11_large_300_train_300 gun Detection preview by Segmentation_v8_large_300_train_300
Original Image: P01036.jpg
GT: gun
gun Detection preview by Box_v11_medium_train_SIXray_OPIXray No objects detected Detection preview by DN_Medium_300_yolov8m_20t7_new gun Detection preview by Segmentatation_v8_medium_train_250 gun Detection preview by Segmentation_V11_large_300_train_300 gun Detection preview by Segmentation_v8_large_300_train_300
Original Image: P01037.jpg
GT: gun
gun Detection preview by Box_v11_medium_train_SIXray_OPIXray No objects detected Detection preview by DN_Medium_300_yolov8m_20t7_new gun Detection preview by Segmentatation_v8_medium_train_250 gun Detection preview by Segmentation_V11_large_300_train_300 gun Detection preview by Segmentation_v8_large_300_train_300
Original Image: P01038.jpg
GT: gun
gun Detection preview by Box_v11_medium_train_SIXray_OPIXray No objects detected Detection preview by DN_Medium_300_yolov8m_20t7_new gun Detection preview by Segmentatation_v8_medium_train_250 gun Detection preview by Segmentation_V11_large_300_train_300 gun Detection preview by Segmentation_v8_large_300_train_300
Original Image: P01039.jpg
GT: gun
gun Detection preview by Box_v11_medium_train_SIXray_OPIXray No objects detected Detection preview by DN_Medium_300_yolov8m_20t7_new gun Detection preview by Segmentatation_v8_medium_train_250 gun Detection preview by Segmentation_V11_large_300_train_300 gun Detection preview by Segmentation_v8_large_300_train_300
Original Image: P01040.jpg
GT: gun
gun Detection preview by Box_v11_medium_train_SIXray_OPIXray No objects detected Detection preview by DN_Medium_300_yolov8m_20t7_new gun Detection preview by Segmentatation_v8_medium_train_250 gun Detection preview by Segmentation_V11_large_300_train_300 gun Detection preview by Segmentation_v8_large_300_train_300
Original Image: P01041.jpg
GT: gun
gun Detection preview by Box_v11_medium_train_SIXray_OPIXray No objects detected Detection preview by DN_Medium_300_yolov8m_20t7_new gun Detection preview by Segmentatation_v8_medium_train_250 gun Detection preview by Segmentation_V11_large_300_train_300 gun Detection preview by Segmentation_v8_large_300_train_300
Original Image: P01042.jpg
GT: gun
gun Detection preview by Box_v11_medium_train_SIXray_OPIXray No objects detected Detection preview by DN_Medium_300_yolov8m_20t7_new gun Detection preview by Segmentatation_v8_medium_train_250 gun Detection preview by Segmentation_V11_large_300_train_300 gun Detection preview by Segmentation_v8_large_300_train_300
Original Image: P01043.jpg
GT: gun
gun Detection preview by Box_v11_medium_train_SIXray_OPIXray No objects detected Detection preview by DN_Medium_300_yolov8m_20t7_new gun Detection preview by Segmentatation_v8_medium_train_250 gun Detection preview by Segmentation_V11_large_300_train_300 gun Detection preview by Segmentation_v8_large_300_train_300
Original Image: P01044.jpg
GT: gun
gun Detection preview by Box_v11_medium_train_SIXray_OPIXray No objects detected Detection preview by DN_Medium_300_yolov8m_20t7_new gun Detection preview by Segmentatation_v8_medium_train_250 gun Detection preview by Segmentation_V11_large_300_train_300 gun Detection preview by Segmentation_v8_large_300_train_300
Original Image: P01045.jpg
GT: gun
gun Detection preview by Box_v11_medium_train_SIXray_OPIXray No objects detected Detection preview by DN_Medium_300_yolov8m_20t7_new gun Detection preview by Segmentatation_v8_medium_train_250 gun Detection preview by Segmentation_V11_large_300_train_300 gun Detection preview by Segmentation_v8_large_300_train_300
Original Image: P01046.jpg
GT: gun, pliers
gun, pliers Detection preview by Box_v11_medium_train_SIXray_OPIXray No objects detected Detection preview by DN_Medium_300_yolov8m_20t7_new gun Detection preview by Segmentatation_v8_medium_train_250 gun Detection preview by Segmentation_V11_large_300_train_300 gun Detection preview by Segmentation_v8_large_300_train_300
Original Image: P01047.jpg
GT: gun, pliers
gun, pliers Detection preview by Box_v11_medium_train_SIXray_OPIXray No objects detected Detection preview by DN_Medium_300_yolov8m_20t7_new gun Detection preview by Segmentatation_v8_medium_train_250 gun Detection preview by Segmentation_V11_large_300_train_300 gun Detection preview by Segmentation_v8_large_300_train_300
Original Image: P01048.jpg
GT: gun, pliers
gun, pliers Detection preview by Box_v11_medium_train_SIXray_OPIXray No objects detected Detection preview by DN_Medium_300_yolov8m_20t7_new gun Detection preview by Segmentatation_v8_medium_train_250 gun Detection preview by Segmentation_V11_large_300_train_300 gun Detection preview by Segmentation_v8_large_300_train_300
Original Image: P01049.jpg
GT: gun, pliers
gun, pliers Detection preview by Box_v11_medium_train_SIXray_OPIXray No objects detected Detection preview by DN_Medium_300_yolov8m_20t7_new gun Detection preview by Segmentatation_v8_medium_train_250 gun Detection preview by Segmentation_V11_large_300_train_300 gun Detection preview by Segmentation_v8_large_300_train_300
Original Image: P01050.jpg
GT: gun, pliers
gun, pliers Detection preview by Box_v11_medium_train_SIXray_OPIXray No objects detected Detection preview by DN_Medium_300_yolov8m_20t7_new gun Detection preview by Segmentatation_v8_medium_train_250 gun Detection preview by Segmentation_V11_large_300_train_300 gun Detection preview by Segmentation_v8_large_300_train_300
Original Image: P01051.jpg
GT: gun, pliers
gun, pliers Detection preview by Box_v11_medium_train_SIXray_OPIXray No objects detected Detection preview by DN_Medium_300_yolov8m_20t7_new gun Detection preview by Segmentatation_v8_medium_train_250 gun Detection preview by Segmentation_V11_large_300_train_300 gun Detection preview by Segmentation_v8_large_300_train_300
Original Image: P01052.jpg
GT: gun, pliers
gun, pliers Detection preview by Box_v11_medium_train_SIXray_OPIXray No objects detected Detection preview by DN_Medium_300_yolov8m_20t7_new gun Detection preview by Segmentatation_v8_medium_train_250 gun Detection preview by Segmentation_V11_large_300_train_300 gun Detection preview by Segmentation_v8_large_300_train_300
Original Image: P01053.jpg
GT: gun, pliers
gun, pliers Detection preview by Box_v11_medium_train_SIXray_OPIXray No objects detected Detection preview by DN_Medium_300_yolov8m_20t7_new gun Detection preview by Segmentatation_v8_medium_train_250 gun Detection preview by Segmentation_V11_large_300_train_300 gun Detection preview by Segmentation_v8_large_300_train_300
Original Image: P01054.jpg
GT: gun, pliers
gun, pliers Detection preview by Box_v11_medium_train_SIXray_OPIXray No objects detected Detection preview by DN_Medium_300_yolov8m_20t7_new gun Detection preview by Segmentatation_v8_medium_train_250 gun Detection preview by Segmentation_V11_large_300_train_300 gun Detection preview by Segmentation_v8_large_300_train_300
Original Image: P01055.jpg
GT: gun, pliers
gun, pliers Detection preview by Box_v11_medium_train_SIXray_OPIXray No objects detected Detection preview by DN_Medium_300_yolov8m_20t7_new gun Detection preview by Segmentatation_v8_medium_train_250 gun Detection preview by Segmentation_V11_large_300_train_300 gun Detection preview by Segmentation_v8_large_300_train_300
Original Image: P01056.jpg
GT: gun, pliers
gun, pliers Detection preview by Box_v11_medium_train_SIXray_OPIXray No objects detected Detection preview by DN_Medium_300_yolov8m_20t7_new gun Detection preview by Segmentatation_v8_medium_train_250 gun Detection preview by Segmentation_V11_large_300_train_300 gun Detection preview by Segmentation_v8_large_300_train_300
Original Image: P01057.jpg
GT: gun, pliers
gun, pliers Detection preview by Box_v11_medium_train_SIXray_OPIXray No objects detected Detection preview by DN_Medium_300_yolov8m_20t7_new gun Detection preview by Segmentatation_v8_medium_train_250 gun Detection preview by Segmentation_V11_large_300_train_300 gun Detection preview by Segmentation_v8_large_300_train_300
Original Image: P01058.jpg
GT: gun, pliers
gun, pliers Detection preview by Box_v11_medium_train_SIXray_OPIXray pliers Detection preview by DN_Medium_300_yolov8m_20t7_new gun Detection preview by Segmentatation_v8_medium_train_250 gun Detection preview by Segmentation_V11_large_300_train_300 gun Detection preview by Segmentation_v8_large_300_train_300
Original Image: P01059.jpg
GT: gun, pliers
gun, pliers Detection preview by Box_v11_medium_train_SIXray_OPIXray No objects detected Detection preview by DN_Medium_300_yolov8m_20t7_new gun Detection preview by Segmentatation_v8_medium_train_250 gun Detection preview by Segmentation_V11_large_300_train_300 gun Detection preview by Segmentation_v8_large_300_train_300
Original Image: P01060.jpg
GT: gun, pliers
gun, pliers Detection preview by Box_v11_medium_train_SIXray_OPIXray No objects detected Detection preview by DN_Medium_300_yolov8m_20t7_new gun Detection preview by Segmentatation_v8_medium_train_250 gun Detection preview by Segmentation_V11_large_300_train_300 gun Detection preview by Segmentation_v8_large_300_train_300
Original Image: P01061.jpg
GT: gun, pliers
gun, pliers Detection preview by Box_v11_medium_train_SIXray_OPIXray No objects detected Detection preview by DN_Medium_300_yolov8m_20t7_new gun Detection preview by Segmentatation_v8_medium_train_250 gun Detection preview by Segmentation_V11_large_300_train_300 gun Detection preview by Segmentation_v8_large_300_train_300
Original Image: P01062.jpg
GT: gun, pliers
gun, pliers Detection preview by Box_v11_medium_train_SIXray_OPIXray No objects detected Detection preview by DN_Medium_300_yolov8m_20t7_new gun Detection preview by Segmentatation_v8_medium_train_250 gun Detection preview by Segmentation_V11_large_300_train_300 gun Detection preview by Segmentation_v8_large_300_train_300
Original Image: P01063.jpg
GT: gun, pliers
gun, pliers Detection preview by Box_v11_medium_train_SIXray_OPIXray No objects detected Detection preview by DN_Medium_300_yolov8m_20t7_new gun Detection preview by Segmentatation_v8_medium_train_250 gun Detection preview by Segmentation_V11_large_300_train_300 gun Detection preview by Segmentation_v8_large_300_train_300
Original Image: P01064.jpg
GT: gun
gun Detection preview by Box_v11_medium_train_SIXray_OPIXray gun Detection preview by DN_Medium_300_yolov8m_20t7_new gun Detection preview by Segmentatation_v8_medium_train_250 gun Detection preview by Segmentation_V11_large_300_train_300 gun Detection preview by Segmentation_v8_large_300_train_300
Original Image: P01065.jpg
GT: gun
gun Detection preview by Box_v11_medium_train_SIXray_OPIXray gun Detection preview by DN_Medium_300_yolov8m_20t7_new gun Detection preview by Segmentatation_v8_medium_train_250 gun Detection preview by Segmentation_V11_large_300_train_300 gun Detection preview by Segmentation_v8_large_300_train_300
Original Image: P01066.jpg
GT: gun
gun Detection preview by Box_v11_medium_train_SIXray_OPIXray gun Detection preview by DN_Medium_300_yolov8m_20t7_new gun Detection preview by Segmentatation_v8_medium_train_250 gun Detection preview by Segmentation_V11_large_300_train_300 gun Detection preview by Segmentation_v8_large_300_train_300
Original Image: P01067.jpg
GT: gun
gun Detection preview by Box_v11_medium_train_SIXray_OPIXray No objects detected Detection preview by DN_Medium_300_yolov8m_20t7_new gun Detection preview by Segmentatation_v8_medium_train_250 gun Detection preview by Segmentation_V11_large_300_train_300 gun Detection preview by Segmentation_v8_large_300_train_300
Original Image: P01068.jpg
GT: gun
gun Detection preview by Box_v11_medium_train_SIXray_OPIXray No objects detected Detection preview by DN_Medium_300_yolov8m_20t7_new gun Detection preview by Segmentatation_v8_medium_train_250 gun Detection preview by Segmentation_V11_large_300_train_300 gun Detection preview by Segmentation_v8_large_300_train_300
Original Image: P01069.jpg
GT: gun
gun Detection preview by Box_v11_medium_train_SIXray_OPIXray No objects detected Detection preview by DN_Medium_300_yolov8m_20t7_new gun Detection preview by Segmentatation_v8_medium_train_250 gun Detection preview by Segmentation_V11_large_300_train_300 gun Detection preview by Segmentation_v8_large_300_train_300
Original Image: P01070.jpg
GT: gun
gun Detection preview by Box_v11_medium_train_SIXray_OPIXray No objects detected Detection preview by DN_Medium_300_yolov8m_20t7_new gun Detection preview by Segmentatation_v8_medium_train_250 gun Detection preview by Segmentation_V11_large_300_train_300 gun Detection preview by Segmentation_v8_large_300_train_300
Original Image: P01071.jpg
GT: gun
gun Detection preview by Box_v11_medium_train_SIXray_OPIXray No objects detected Detection preview by DN_Medium_300_yolov8m_20t7_new gun Detection preview by Segmentatation_v8_medium_train_250 gun Detection preview by Segmentation_V11_large_300_train_300 gun Detection preview by Segmentation_v8_large_300_train_300
Original Image: P01072.jpg
GT: gun
gun Detection preview by Box_v11_medium_train_SIXray_OPIXray No objects detected Detection preview by DN_Medium_300_yolov8m_20t7_new gun Detection preview by Segmentatation_v8_medium_train_250 gun Detection preview by Segmentation_V11_large_300_train_300 gun Detection preview by Segmentation_v8_large_300_train_300
Original Image: P01073.jpg
GT: gun
gun Detection preview by Box_v11_medium_train_SIXray_OPIXray No objects detected Detection preview by DN_Medium_300_yolov8m_20t7_new gun Detection preview by Segmentatation_v8_medium_train_250 gun Detection preview by Segmentation_V11_large_300_train_300 gun Detection preview by Segmentation_v8_large_300_train_300
Original Image: P01074.jpg
GT: gun
gun Detection preview by Box_v11_medium_train_SIXray_OPIXray No objects detected Detection preview by DN_Medium_300_yolov8m_20t7_new gun Detection preview by Segmentatation_v8_medium_train_250 gun Detection preview by Segmentation_V11_large_300_train_300 gun Detection preview by Segmentation_v8_large_300_train_300
Original Image: P01075.jpg
GT: gun, pliers
gun, pliers Detection preview by Box_v11_medium_train_SIXray_OPIXray No objects detected Detection preview by DN_Medium_300_yolov8m_20t7_new gun Detection preview by Segmentatation_v8_medium_train_250 gun Detection preview by Segmentation_V11_large_300_train_300 gun Detection preview by Segmentation_v8_large_300_train_300
Original Image: P01076.jpg
GT: gun, pliers
gun, pliers Detection preview by Box_v11_medium_train_SIXray_OPIXray No objects detected Detection preview by DN_Medium_300_yolov8m_20t7_new gun Detection preview by Segmentatation_v8_medium_train_250 gun Detection preview by Segmentation_V11_large_300_train_300 gun Detection preview by Segmentation_v8_large_300_train_300
Original Image: P01077.jpg
GT: gun, pliers
gun, pliers Detection preview by Box_v11_medium_train_SIXray_OPIXray No objects detected Detection preview by DN_Medium_300_yolov8m_20t7_new gun Detection preview by Segmentatation_v8_medium_train_250 gun Detection preview by Segmentation_V11_large_300_train_300 gun Detection preview by Segmentation_v8_large_300_train_300
Original Image: P01078.jpg
GT: gun, pliers
gun, pliers Detection preview by Box_v11_medium_train_SIXray_OPIXray No objects detected Detection preview by DN_Medium_300_yolov8m_20t7_new gun Detection preview by Segmentatation_v8_medium_train_250 gun Detection preview by Segmentation_V11_large_300_train_300 gun Detection preview by Segmentation_v8_large_300_train_300
Original Image: P01079.jpg
GT: gun, pliers
gun, pliers Detection preview by Box_v11_medium_train_SIXray_OPIXray pliers Detection preview by DN_Medium_300_yolov8m_20t7_new gun Detection preview by Segmentatation_v8_medium_train_250 gun Detection preview by Segmentation_V11_large_300_train_300 gun Detection preview by Segmentation_v8_large_300_train_300
Original Image: P01080.jpg
GT: gun, pliers
gun, pliers Detection preview by Box_v11_medium_train_SIXray_OPIXray pliers Detection preview by DN_Medium_300_yolov8m_20t7_new gun Detection preview by Segmentatation_v8_medium_train_250 gun Detection preview by Segmentation_V11_large_300_train_300 gun Detection preview by Segmentation_v8_large_300_train_300
Original Image: P01081.jpg
GT: gun, pliers
gun, pliers Detection preview by Box_v11_medium_train_SIXray_OPIXray gun Detection preview by DN_Medium_300_yolov8m_20t7_new gun Detection preview by Segmentatation_v8_medium_train_250 gun Detection preview by Segmentation_V11_large_300_train_300 gun Detection preview by Segmentation_v8_large_300_train_300
Original Image: P01082.jpg
GT: gun, pliers
gun, pliers Detection preview by Box_v11_medium_train_SIXray_OPIXray No objects detected Detection preview by DN_Medium_300_yolov8m_20t7_new gun Detection preview by Segmentatation_v8_medium_train_250 gun Detection preview by Segmentation_V11_large_300_train_300 gun Detection preview by Segmentation_v8_large_300_train_300
Original Image: P01083.jpg
GT: gun, pliers
gun, pliers Detection preview by Box_v11_medium_train_SIXray_OPIXray pliers Detection preview by DN_Medium_300_yolov8m_20t7_new gun Detection preview by Segmentatation_v8_medium_train_250 gun Detection preview by Segmentation_V11_large_300_train_300 gun Detection preview by Segmentation_v8_large_300_train_300
Original Image: P01084.jpg
GT: gun, pliers
gun, pliers Detection preview by Box_v11_medium_train_SIXray_OPIXray pliers Detection preview by DN_Medium_300_yolov8m_20t7_new gun Detection preview by Segmentatation_v8_medium_train_250 gun Detection preview by Segmentation_V11_large_300_train_300 gun Detection preview by Segmentation_v8_large_300_train_300
Original Image: P01085.jpg
GT: gun, pliers
gun, pliers Detection preview by Box_v11_medium_train_SIXray_OPIXray No objects detected Detection preview by DN_Medium_300_yolov8m_20t7_new gun Detection preview by Segmentatation_v8_medium_train_250 gun Detection preview by Segmentation_V11_large_300_train_300 gun Detection preview by Segmentation_v8_large_300_train_300
Original Image: P01086.jpg
GT: gun, pliers
gun, pliers Detection preview by Box_v11_medium_train_SIXray_OPIXray No objects detected Detection preview by DN_Medium_300_yolov8m_20t7_new gun Detection preview by Segmentatation_v8_medium_train_250 gun Detection preview by Segmentation_V11_large_300_train_300 gun Detection preview by Segmentation_v8_large_300_train_300
Original Image: P01087.jpg
GT: gun, pliers
gun, pliers Detection preview by Box_v11_medium_train_SIXray_OPIXray No objects detected Detection preview by DN_Medium_300_yolov8m_20t7_new gun Detection preview by Segmentatation_v8_medium_train_250 gun Detection preview by Segmentation_V11_large_300_train_300 gun Detection preview by Segmentation_v8_large_300_train_300
Original Image: P01088.jpg
GT: gun, pliers
gun, pliers Detection preview by Box_v11_medium_train_SIXray_OPIXray pliers Detection preview by DN_Medium_300_yolov8m_20t7_new gun Detection preview by Segmentatation_v8_medium_train_250 gun Detection preview by Segmentation_V11_large_300_train_300 gun Detection preview by Segmentation_v8_large_300_train_300
Original Image: P01089.jpg
GT: gun, pliers
gun, pliers Detection preview by Box_v11_medium_train_SIXray_OPIXray No objects detected Detection preview by DN_Medium_300_yolov8m_20t7_new gun Detection preview by Segmentatation_v8_medium_train_250 gun Detection preview by Segmentation_V11_large_300_train_300 gun Detection preview by Segmentation_v8_large_300_train_300
Original Image: P01090.jpg
GT: gun, pliers
gun, pliers Detection preview by Box_v11_medium_train_SIXray_OPIXray No objects detected Detection preview by DN_Medium_300_yolov8m_20t7_new gun Detection preview by Segmentatation_v8_medium_train_250 gun Detection preview by Segmentation_V11_large_300_train_300 gun Detection preview by Segmentation_v8_large_300_train_300
Original Image: P01091.jpg
GT: gun, pliers
gun, pliers Detection preview by Box_v11_medium_train_SIXray_OPIXray No objects detected Detection preview by DN_Medium_300_yolov8m_20t7_new gun Detection preview by Segmentatation_v8_medium_train_250 gun Detection preview by Segmentation_V11_large_300_train_300 gun Detection preview by Segmentation_v8_large_300_train_300
Original Image: P01092.jpg
GT: gun, pliers
gun, pliers Detection preview by Box_v11_medium_train_SIXray_OPIXray No objects detected Detection preview by DN_Medium_300_yolov8m_20t7_new gun Detection preview by Segmentatation_v8_medium_train_250 gun Detection preview by Segmentation_V11_large_300_train_300 gun Detection preview by Segmentation_v8_large_300_train_300
Original Image: P01093.jpg
GT: gun, pliers
gun, pliers Detection preview by Box_v11_medium_train_SIXray_OPIXray No objects detected Detection preview by DN_Medium_300_yolov8m_20t7_new gun Detection preview by Segmentatation_v8_medium_train_250 gun Detection preview by Segmentation_V11_large_300_train_300 gun Detection preview by Segmentation_v8_large_300_train_300
Original Image: P01094.jpg
GT: gun, pliers
gun, pliers Detection preview by Box_v11_medium_train_SIXray_OPIXray pliers Detection preview by DN_Medium_300_yolov8m_20t7_new gun Detection preview by Segmentatation_v8_medium_train_250 gun Detection preview by Segmentation_V11_large_300_train_300 gun Detection preview by Segmentation_v8_large_300_train_300
Original Image: P01095.jpg
GT: gun, pliers
gun, pliers Detection preview by Box_v11_medium_train_SIXray_OPIXray No objects detected Detection preview by DN_Medium_300_yolov8m_20t7_new gun Detection preview by Segmentatation_v8_medium_train_250 gun Detection preview by Segmentation_V11_large_300_train_300 gun Detection preview by Segmentation_v8_large_300_train_300
Original Image: P01096.jpg
GT: gun, pliers
gun, pliers Detection preview by Box_v11_medium_train_SIXray_OPIXray No objects detected Detection preview by DN_Medium_300_yolov8m_20t7_new gun Detection preview by Segmentatation_v8_medium_train_250 gun Detection preview by Segmentation_V11_large_300_train_300 gun Detection preview by Segmentation_v8_large_300_train_300
Original Image: P01097.jpg
GT: gun, pliers
gun, pliers Detection preview by Box_v11_medium_train_SIXray_OPIXray pliers Detection preview by DN_Medium_300_yolov8m_20t7_new gun Detection preview by Segmentatation_v8_medium_train_250 gun Detection preview by Segmentation_V11_large_300_train_300 gun Detection preview by Segmentation_v8_large_300_train_300
Original Image: P01098.jpg
GT: gun, pliers
gun, pliers Detection preview by Box_v11_medium_train_SIXray_OPIXray No objects detected Detection preview by DN_Medium_300_yolov8m_20t7_new gun Detection preview by Segmentatation_v8_medium_train_250 gun Detection preview by Segmentation_V11_large_300_train_300 gun Detection preview by Segmentation_v8_large_300_train_300
Original Image: P01099.jpg
GT: gun, pliers
gun, pliers Detection preview by Box_v11_medium_train_SIXray_OPIXray No objects detected Detection preview by DN_Medium_300_yolov8m_20t7_new gun Detection preview by Segmentatation_v8_medium_train_250 gun Detection preview by Segmentation_V11_large_300_train_300 gun Detection preview by Segmentation_v8_large_300_train_300
Original Image: P01100.jpg
GT: gun, pliers
gun, pliers Detection preview by Box_v11_medium_train_SIXray_OPIXray No objects detected Detection preview by DN_Medium_300_yolov8m_20t7_new gun Detection preview by Segmentatation_v8_medium_train_250 gun Detection preview by Segmentation_V11_large_300_train_300 gun Detection preview by Segmentation_v8_large_300_train_300
Original Image: P01101.jpg
GT: gun, pliers
gun, pliers Detection preview by Box_v11_medium_train_SIXray_OPIXray No objects detected Detection preview by DN_Medium_300_yolov8m_20t7_new gun Detection preview by Segmentatation_v8_medium_train_250 gun Detection preview by Segmentation_V11_large_300_train_300 gun Detection preview by Segmentation_v8_large_300_train_300
Original Image: P01102.jpg
GT: gun, pliers
gun, pliers Detection preview by Box_v11_medium_train_SIXray_OPIXray No objects detected Detection preview by DN_Medium_300_yolov8m_20t7_new gun Detection preview by Segmentatation_v8_medium_train_250 gun Detection preview by Segmentation_V11_large_300_train_300 gun Detection preview by Segmentation_v8_large_300_train_300
Original Image: P01103.jpg
GT: gun, pliers
gun, pliers Detection preview by Box_v11_medium_train_SIXray_OPIXray No objects detected Detection preview by DN_Medium_300_yolov8m_20t7_new gun Detection preview by Segmentatation_v8_medium_train_250 gun Detection preview by Segmentation_V11_large_300_train_300 gun Detection preview by Segmentation_v8_large_300_train_300
Original Image: P01104.jpg
GT: gun, pliers
gun, pliers Detection preview by Box_v11_medium_train_SIXray_OPIXray No objects detected Detection preview by DN_Medium_300_yolov8m_20t7_new gun Detection preview by Segmentatation_v8_medium_train_250 gun Detection preview by Segmentation_V11_large_300_train_300 gun Detection preview by Segmentation_v8_large_300_train_300
Original Image: P01105.jpg
GT: gun, pliers
gun, pliers Detection preview by Box_v11_medium_train_SIXray_OPIXray No objects detected Detection preview by DN_Medium_300_yolov8m_20t7_new gun Detection preview by Segmentatation_v8_medium_train_250 gun Detection preview by Segmentation_V11_large_300_train_300 gun Detection preview by Segmentation_v8_large_300_train_300
Original Image: P01106.jpg
GT: gun, pliers
gun, pliers Detection preview by Box_v11_medium_train_SIXray_OPIXray No objects detected Detection preview by DN_Medium_300_yolov8m_20t7_new gun Detection preview by Segmentatation_v8_medium_train_250 gun Detection preview by Segmentation_V11_large_300_train_300 gun Detection preview by Segmentation_v8_large_300_train_300
Original Image: P01107.jpg
GT: gun, pliers
gun, pliers Detection preview by Box_v11_medium_train_SIXray_OPIXray pliers Detection preview by DN_Medium_300_yolov8m_20t7_new gun Detection preview by Segmentatation_v8_medium_train_250 gun Detection preview by Segmentation_V11_large_300_train_300 gun Detection preview by Segmentation_v8_large_300_train_300
Original Image: P01108.jpg
GT: gun, pliers
gun, pliers Detection preview by Box_v11_medium_train_SIXray_OPIXray No objects detected Detection preview by DN_Medium_300_yolov8m_20t7_new gun Detection preview by Segmentatation_v8_medium_train_250 gun Detection preview by Segmentation_V11_large_300_train_300 gun Detection preview by Segmentation_v8_large_300_train_300
Original Image: P01109.jpg
GT: gun, pliers
gun, pliers Detection preview by Box_v11_medium_train_SIXray_OPIXray No objects detected Detection preview by DN_Medium_300_yolov8m_20t7_new gun Detection preview by Segmentatation_v8_medium_train_250 gun Detection preview by Segmentation_V11_large_300_train_300 gun Detection preview by Segmentation_v8_large_300_train_300
Original Image: P01110.jpg
GT: gun, pliers
gun, pliers Detection preview by Box_v11_medium_train_SIXray_OPIXray No objects detected Detection preview by DN_Medium_300_yolov8m_20t7_new gun Detection preview by Segmentatation_v8_medium_train_250 gun Detection preview by Segmentation_V11_large_300_train_300 gun Detection preview by Segmentation_v8_large_300_train_300
Original Image: P01111.jpg
GT: gun, pliers
gun, pliers Detection preview by Box_v11_medium_train_SIXray_OPIXray pliers Detection preview by DN_Medium_300_yolov8m_20t7_new gun Detection preview by Segmentatation_v8_medium_train_250 gun Detection preview by Segmentation_V11_large_300_train_300 gun Detection preview by Segmentation_v8_large_300_train_300
Original Image: P01112.jpg
GT: gun, pliers
gun, pliers Detection preview by Box_v11_medium_train_SIXray_OPIXray pliers Detection preview by DN_Medium_300_yolov8m_20t7_new gun Detection preview by Segmentatation_v8_medium_train_250 gun Detection preview by Segmentation_V11_large_300_train_300 gun Detection preview by Segmentation_v8_large_300_train_300
Original Image: P01113.jpg
GT: gun, pliers
gun, pliers Detection preview by Box_v11_medium_train_SIXray_OPIXray pliers Detection preview by DN_Medium_300_yolov8m_20t7_new gun Detection preview by Segmentatation_v8_medium_train_250 gun Detection preview by Segmentation_V11_large_300_train_300 gun Detection preview by Segmentation_v8_large_300_train_300
Original Image: P01114.jpg
GT: gun, pliers
gun, pliers Detection preview by Box_v11_medium_train_SIXray_OPIXray pliers Detection preview by DN_Medium_300_yolov8m_20t7_new gun Detection preview by Segmentatation_v8_medium_train_250 gun Detection preview by Segmentation_V11_large_300_train_300 gun Detection preview by Segmentation_v8_large_300_train_300
Original Image: P01115.jpg
GT: gun, pliers
gun, pliers Detection preview by Box_v11_medium_train_SIXray_OPIXray pliers Detection preview by DN_Medium_300_yolov8m_20t7_new gun Detection preview by Segmentatation_v8_medium_train_250 gun Detection preview by Segmentation_V11_large_300_train_300 gun Detection preview by Segmentation_v8_large_300_train_300
Original Image: P01116.jpg
GT: gun, pliers
gun, pliers Detection preview by Box_v11_medium_train_SIXray_OPIXray pliers Detection preview by DN_Medium_300_yolov8m_20t7_new gun Detection preview by Segmentatation_v8_medium_train_250 gun Detection preview by Segmentation_V11_large_300_train_300 gun Detection preview by Segmentation_v8_large_300_train_300
Original Image: P01117.jpg
GT: gun, pliers
gun, pliers Detection preview by Box_v11_medium_train_SIXray_OPIXray pliers Detection preview by DN_Medium_300_yolov8m_20t7_new gun Detection preview by Segmentatation_v8_medium_train_250 gun Detection preview by Segmentation_V11_large_300_train_300 gun Detection preview by Segmentation_v8_large_300_train_300
Original Image: P01118.jpg
GT: gun, pliers
gun, pliers Detection preview by Box_v11_medium_train_SIXray_OPIXray pliers Detection preview by DN_Medium_300_yolov8m_20t7_new gun Detection preview by Segmentatation_v8_medium_train_250 gun Detection preview by Segmentation_V11_large_300_train_300 gun Detection preview by Segmentation_v8_large_300_train_300
Original Image: P01119.jpg
GT: gun, pliers
gun, pliers Detection preview by Box_v11_medium_train_SIXray_OPIXray No objects detected Detection preview by DN_Medium_300_yolov8m_20t7_new gun Detection preview by Segmentatation_v8_medium_train_250 gun Detection preview by Segmentation_V11_large_300_train_300 gun Detection preview by Segmentation_v8_large_300_train_300
Original Image: P01120.jpg
GT: gun, pliers
gun, pliers Detection preview by Box_v11_medium_train_SIXray_OPIXray No objects detected Detection preview by DN_Medium_300_yolov8m_20t7_new gun Detection preview by Segmentatation_v8_medium_train_250 gun Detection preview by Segmentation_V11_large_300_train_300 gun Detection preview by Segmentation_v8_large_300_train_300
Original Image: P01121.jpg
GT: gun, pliers
gun, pliers Detection preview by Box_v11_medium_train_SIXray_OPIXray No objects detected Detection preview by DN_Medium_300_yolov8m_20t7_new gun Detection preview by Segmentatation_v8_medium_train_250 gun Detection preview by Segmentation_V11_large_300_train_300 gun Detection preview by Segmentation_v8_large_300_train_300
Original Image: P01122.jpg
GT: gun, pliers
gun, pliers Detection preview by Box_v11_medium_train_SIXray_OPIXray No objects detected Detection preview by DN_Medium_300_yolov8m_20t7_new gun Detection preview by Segmentatation_v8_medium_train_250 gun Detection preview by Segmentation_V11_large_300_train_300 gun Detection preview by Segmentation_v8_large_300_train_300
Original Image: P01123.jpg
GT: gun, pliers
gun, pliers Detection preview by Box_v11_medium_train_SIXray_OPIXray pliers Detection preview by DN_Medium_300_yolov8m_20t7_new gun Detection preview by Segmentatation_v8_medium_train_250 gun Detection preview by Segmentation_V11_large_300_train_300 gun Detection preview by Segmentation_v8_large_300_train_300
Original Image: P01124.jpg
GT: gun, pliers
gun, pliers Detection preview by Box_v11_medium_train_SIXray_OPIXray pliers Detection preview by DN_Medium_300_yolov8m_20t7_new gun Detection preview by Segmentatation_v8_medium_train_250 gun Detection preview by Segmentation_V11_large_300_train_300 gun Detection preview by Segmentation_v8_large_300_train_300
Original Image: P01125.jpg
GT: gun, pliers
gun, pliers Detection preview by Box_v11_medium_train_SIXray_OPIXray pliers Detection preview by DN_Medium_300_yolov8m_20t7_new gun Detection preview by Segmentatation_v8_medium_train_250 gun Detection preview by Segmentation_V11_large_300_train_300 gun Detection preview by Segmentation_v8_large_300_train_300
Original Image: P01126.jpg
GT: gun, pliers
gun, pliers Detection preview by Box_v11_medium_train_SIXray_OPIXray pliers Detection preview by DN_Medium_300_yolov8m_20t7_new gun Detection preview by Segmentatation_v8_medium_train_250 gun Detection preview by Segmentation_V11_large_300_train_300 gun Detection preview by Segmentation_v8_large_300_train_300
Original Image: P01127.jpg
GT: gun, pliers
gun, pliers Detection preview by Box_v11_medium_train_SIXray_OPIXray pliers Detection preview by DN_Medium_300_yolov8m_20t7_new gun Detection preview by Segmentatation_v8_medium_train_250 gun Detection preview by Segmentation_V11_large_300_train_300 gun Detection preview by Segmentation_v8_large_300_train_300
Original Image: P01128.jpg
GT: gun, pliers
gun, pliers Detection preview by Box_v11_medium_train_SIXray_OPIXray pliers Detection preview by DN_Medium_300_yolov8m_20t7_new gun Detection preview by Segmentatation_v8_medium_train_250 gun Detection preview by Segmentation_V11_large_300_train_300 gun Detection preview by Segmentation_v8_large_300_train_300
Original Image: P01129.jpg
GT: gun
gun Detection preview by Box_v11_medium_train_SIXray_OPIXray No objects detected Detection preview by DN_Medium_300_yolov8m_20t7_new gun Detection preview by Segmentatation_v8_medium_train_250 gun Detection preview by Segmentation_V11_large_300_train_300 gun Detection preview by Segmentation_v8_large_300_train_300
Original Image: P01130.jpg
GT: gun
gun Detection preview by Box_v11_medium_train_SIXray_OPIXray No objects detected Detection preview by DN_Medium_300_yolov8m_20t7_new gun Detection preview by Segmentatation_v8_medium_train_250 gun Detection preview by Segmentation_V11_large_300_train_300 gun Detection preview by Segmentation_v8_large_300_train_300
Original Image: P01131.jpg
GT: gun, pliers
gun, pliers Detection preview by Box_v11_medium_train_SIXray_OPIXray pliers Detection preview by DN_Medium_300_yolov8m_20t7_new gun Detection preview by Segmentatation_v8_medium_train_250 gun Detection preview by Segmentation_V11_large_300_train_300 gun Detection preview by Segmentation_v8_large_300_train_300
Original Image: P01132.jpg
GT: gun, pliers
gun, pliers Detection preview by Box_v11_medium_train_SIXray_OPIXray No objects detected Detection preview by DN_Medium_300_yolov8m_20t7_new gun Detection preview by Segmentatation_v8_medium_train_250 gun Detection preview by Segmentation_V11_large_300_train_300 gun Detection preview by Segmentation_v8_large_300_train_300
Original Image: P01133.jpg
GT: gun, pliers
gun, pliers Detection preview by Box_v11_medium_train_SIXray_OPIXray gun Detection preview by DN_Medium_300_yolov8m_20t7_new gun Detection preview by Segmentatation_v8_medium_train_250 gun Detection preview by Segmentation_V11_large_300_train_300 gun Detection preview by Segmentation_v8_large_300_train_300
Original Image: P01134.jpg
GT: gun, pliers
gun, pliers Detection preview by Box_v11_medium_train_SIXray_OPIXray gun, pliers Detection preview by DN_Medium_300_yolov8m_20t7_new gun Detection preview by Segmentatation_v8_medium_train_250 gun Detection preview by Segmentation_V11_large_300_train_300 gun Detection preview by Segmentation_v8_large_300_train_300
Original Image: P01135.jpg
GT: gun, pliers
gun, pliers Detection preview by Box_v11_medium_train_SIXray_OPIXray pliers Detection preview by DN_Medium_300_yolov8m_20t7_new gun Detection preview by Segmentatation_v8_medium_train_250 gun Detection preview by Segmentation_V11_large_300_train_300 gun Detection preview by Segmentation_v8_large_300_train_300
Original Image: P01136.jpg
GT: gun, pliers
gun, pliers Detection preview by Box_v11_medium_train_SIXray_OPIXray pliers Detection preview by DN_Medium_300_yolov8m_20t7_new gun Detection preview by Segmentatation_v8_medium_train_250 gun Detection preview by Segmentation_V11_large_300_train_300 gun Detection preview by Segmentation_v8_large_300_train_300
Original Image: P01137.jpg
GT: gun, pliers
gun, pliers Detection preview by Box_v11_medium_train_SIXray_OPIXray pliers Detection preview by DN_Medium_300_yolov8m_20t7_new gun Detection preview by Segmentatation_v8_medium_train_250 gun Detection preview by Segmentation_V11_large_300_train_300 gun Detection preview by Segmentation_v8_large_300_train_300
Original Image: P01138.jpg
GT: gun, pliers
gun, pliers Detection preview by Box_v11_medium_train_SIXray_OPIXray pliers Detection preview by DN_Medium_300_yolov8m_20t7_new gun Detection preview by Segmentatation_v8_medium_train_250 gun Detection preview by Segmentation_V11_large_300_train_300 gun Detection preview by Segmentation_v8_large_300_train_300
Original Image: P01139.jpg
GT: gun, pliers
gun, pliers Detection preview by Box_v11_medium_train_SIXray_OPIXray gun, pliers Detection preview by DN_Medium_300_yolov8m_20t7_new gun Detection preview by Segmentatation_v8_medium_train_250 gun Detection preview by Segmentation_V11_large_300_train_300 gun Detection preview by Segmentation_v8_large_300_train_300
Original Image: P01140.jpg
GT: gun, pliers
gun, pliers Detection preview by Box_v11_medium_train_SIXray_OPIXray gun, pliers Detection preview by DN_Medium_300_yolov8m_20t7_new gun Detection preview by Segmentatation_v8_medium_train_250 gun Detection preview by Segmentation_V11_large_300_train_300 gun Detection preview by Segmentation_v8_large_300_train_300
Original Image: P01141.jpg
GT: gun, pliers
gun, pliers Detection preview by Box_v11_medium_train_SIXray_OPIXray pliers Detection preview by DN_Medium_300_yolov8m_20t7_new gun Detection preview by Segmentatation_v8_medium_train_250 gun Detection preview by Segmentation_V11_large_300_train_300 gun Detection preview by Segmentation_v8_large_300_train_300
Original Image: P01142.jpg
GT: gun, pliers
gun, pliers Detection preview by Box_v11_medium_train_SIXray_OPIXray pliers Detection preview by DN_Medium_300_yolov8m_20t7_new gun Detection preview by Segmentatation_v8_medium_train_250 gun Detection preview by Segmentation_V11_large_300_train_300 gun Detection preview by Segmentation_v8_large_300_train_300
Original Image: P01143.jpg
GT: gun, pliers
gun, pliers Detection preview by Box_v11_medium_train_SIXray_OPIXray pliers Detection preview by DN_Medium_300_yolov8m_20t7_new gun Detection preview by Segmentatation_v8_medium_train_250 gun Detection preview by Segmentation_V11_large_300_train_300 gun Detection preview by Segmentation_v8_large_300_train_300
Original Image: P01144.jpg
GT: gun, pliers
gun, pliers Detection preview by Box_v11_medium_train_SIXray_OPIXray pliers Detection preview by DN_Medium_300_yolov8m_20t7_new gun Detection preview by Segmentatation_v8_medium_train_250 gun Detection preview by Segmentation_V11_large_300_train_300 gun Detection preview by Segmentation_v8_large_300_train_300
Original Image: P01145.jpg
GT: gun, pliers
gun, pliers Detection preview by Box_v11_medium_train_SIXray_OPIXray pliers Detection preview by DN_Medium_300_yolov8m_20t7_new gun Detection preview by Segmentatation_v8_medium_train_250 gun Detection preview by Segmentation_V11_large_300_train_300 gun Detection preview by Segmentation_v8_large_300_train_300
Original Image: P01146.jpg
GT: gun, pliers
gun, pliers Detection preview by Box_v11_medium_train_SIXray_OPIXray pliers Detection preview by DN_Medium_300_yolov8m_20t7_new gun Detection preview by Segmentatation_v8_medium_train_250 gun Detection preview by Segmentation_V11_large_300_train_300 gun Detection preview by Segmentation_v8_large_300_train_300
Original Image: P01147.jpg
GT: gun, pliers
gun, pliers Detection preview by Box_v11_medium_train_SIXray_OPIXray gun Detection preview by DN_Medium_300_yolov8m_20t7_new gun Detection preview by Segmentatation_v8_medium_train_250 gun Detection preview by Segmentation_V11_large_300_train_300 gun Detection preview by Segmentation_v8_large_300_train_300
Original Image: P01148.jpg
GT: gun, pliers
gun, pliers Detection preview by Box_v11_medium_train_SIXray_OPIXray gun Detection preview by DN_Medium_300_yolov8m_20t7_new gun Detection preview by Segmentatation_v8_medium_train_250 gun Detection preview by Segmentation_V11_large_300_train_300 gun Detection preview by Segmentation_v8_large_300_train_300
Original Image: P01149.jpg
GT: gun, pliers
gun, pliers Detection preview by Box_v11_medium_train_SIXray_OPIXray No objects detected Detection preview by DN_Medium_300_yolov8m_20t7_new gun Detection preview by Segmentatation_v8_medium_train_250 gun Detection preview by Segmentation_V11_large_300_train_300 gun Detection preview by Segmentation_v8_large_300_train_300
Original Image: P01150.jpg
GT: gun, pliers
gun, pliers Detection preview by Box_v11_medium_train_SIXray_OPIXray No objects detected Detection preview by DN_Medium_300_yolov8m_20t7_new gun Detection preview by Segmentatation_v8_medium_train_250 gun Detection preview by Segmentation_V11_large_300_train_300 gun Detection preview by Segmentation_v8_large_300_train_300
Original Image: P01151.jpg
GT: gun, pliers
gun, pliers Detection preview by Box_v11_medium_train_SIXray_OPIXray gun Detection preview by DN_Medium_300_yolov8m_20t7_new gun Detection preview by Segmentatation_v8_medium_train_250 gun Detection preview by Segmentation_V11_large_300_train_300 gun Detection preview by Segmentation_v8_large_300_train_300
Original Image: P01152.jpg
GT: gun, pliers
gun, pliers Detection preview by Box_v11_medium_train_SIXray_OPIXray gun Detection preview by DN_Medium_300_yolov8m_20t7_new gun Detection preview by Segmentatation_v8_medium_train_250 gun Detection preview by Segmentation_V11_large_300_train_300 gun Detection preview by Segmentation_v8_large_300_train_300
Original Image: P01153.jpg
GT: gun, pliers
gun, pliers Detection preview by Box_v11_medium_train_SIXray_OPIXray No objects detected Detection preview by DN_Medium_300_yolov8m_20t7_new gun Detection preview by Segmentatation_v8_medium_train_250 gun Detection preview by Segmentation_V11_large_300_train_300 gun Detection preview by Segmentation_v8_large_300_train_300
Original Image: P01154.jpg
GT: gun, pliers
gun, pliers Detection preview by Box_v11_medium_train_SIXray_OPIXray No objects detected Detection preview by DN_Medium_300_yolov8m_20t7_new gun Detection preview by Segmentatation_v8_medium_train_250 gun Detection preview by Segmentation_V11_large_300_train_300 gun Detection preview by Segmentation_v8_large_300_train_300
Original Image: P01155.jpg
GT: gun, pliers
gun, pliers Detection preview by Box_v11_medium_train_SIXray_OPIXray No objects detected Detection preview by DN_Medium_300_yolov8m_20t7_new gun Detection preview by Segmentatation_v8_medium_train_250 gun Detection preview by Segmentation_V11_large_300_train_300 gun Detection preview by Segmentation_v8_large_300_train_300
Original Image: P01156.jpg
GT: gun, pliers
gun, pliers Detection preview by Box_v11_medium_train_SIXray_OPIXray No objects detected Detection preview by DN_Medium_300_yolov8m_20t7_new gun Detection preview by Segmentatation_v8_medium_train_250 gun Detection preview by Segmentation_V11_large_300_train_300 gun Detection preview by Segmentation_v8_large_300_train_300
Original Image: P01157.jpg
GT: gun, pliers, wrench
gun, pliers, wrench Detection preview by Box_v11_medium_train_SIXray_OPIXray knife Detection preview by DN_Medium_300_yolov8m_20t7_new gun, wrench Detection preview by Segmentatation_v8_medium_train_250 gun, wrench Detection preview by Segmentation_V11_large_300_train_300 gun, wrench Detection preview by Segmentation_v8_large_300_train_300
Original Image: P01158.jpg
GT: gun, pliers, wrench
gun, pliers, wrench Detection preview by Box_v11_medium_train_SIXray_OPIXray pliers Detection preview by DN_Medium_300_yolov8m_20t7_new gun, wrench Detection preview by Segmentatation_v8_medium_train_250 gun, wrench Detection preview by Segmentation_V11_large_300_train_300 gun, wrench Detection preview by Segmentation_v8_large_300_train_300
Original Image: P01159.jpg
GT: gun, pliers, wrench
gun, pliers, wrench Detection preview by Box_v11_medium_train_SIXray_OPIXray No objects detected Detection preview by DN_Medium_300_yolov8m_20t7_new gun, wrench Detection preview by Segmentatation_v8_medium_train_250 gun, wrench Detection preview by Segmentation_V11_large_300_train_300 gun, wrench Detection preview by Segmentation_v8_large_300_train_300
Original Image: P01160.jpg
GT: gun, pliers, wrench
gun, pliers, wrench Detection preview by Box_v11_medium_train_SIXray_OPIXray pliers Detection preview by DN_Medium_300_yolov8m_20t7_new gun, wrench Detection preview by Segmentatation_v8_medium_train_250 gun, wrench Detection preview by Segmentation_V11_large_300_train_300 gun, wrench Detection preview by Segmentation_v8_large_300_train_300
Original Image: P01161.jpg
GT: gun, pliers, wrench
gun, pliers, wrench Detection preview by Box_v11_medium_train_SIXray_OPIXray pliers Detection preview by DN_Medium_300_yolov8m_20t7_new gun, wrench Detection preview by Segmentatation_v8_medium_train_250 gun, wrench Detection preview by Segmentation_V11_large_300_train_300 gun, wrench Detection preview by Segmentation_v8_large_300_train_300
Original Image: P01162.jpg
GT: gun, pliers
gun, pliers, wrench Detection preview by Box_v11_medium_train_SIXray_OPIXray No objects detected Detection preview by DN_Medium_300_yolov8m_20t7_new gun, wrench Detection preview by Segmentatation_v8_medium_train_250 gun, wrench Detection preview by Segmentation_V11_large_300_train_300 gun, wrench Detection preview by Segmentation_v8_large_300_train_300
Original Image: P01163.jpg
GT: gun, pliers, wrench
gun, pliers, wrench Detection preview by Box_v11_medium_train_SIXray_OPIXray pliers Detection preview by DN_Medium_300_yolov8m_20t7_new gun, wrench Detection preview by Segmentatation_v8_medium_train_250 gun, wrench Detection preview by Segmentation_V11_large_300_train_300 gun, wrench Detection preview by Segmentation_v8_large_300_train_300
Original Image: P01164.jpg
GT: gun, pliers, wrench
gun, pliers, wrench Detection preview by Box_v11_medium_train_SIXray_OPIXray pliers Detection preview by DN_Medium_300_yolov8m_20t7_new gun, wrench Detection preview by Segmentatation_v8_medium_train_250 gun, wrench Detection preview by Segmentation_V11_large_300_train_300 gun, wrench Detection preview by Segmentation_v8_large_300_train_300
Original Image: P01165.jpg
GT: gun, pliers, wrench
gun, pliers, wrench Detection preview by Box_v11_medium_train_SIXray_OPIXray pliers Detection preview by DN_Medium_300_yolov8m_20t7_new gun, wrench Detection preview by Segmentatation_v8_medium_train_250 gun, wrench Detection preview by Segmentation_V11_large_300_train_300 gun, wrench Detection preview by Segmentation_v8_large_300_train_300
Original Image: P01166.jpg
GT: gun, pliers, wrench
gun, pliers, wrench Detection preview by Box_v11_medium_train_SIXray_OPIXray No objects detected Detection preview by DN_Medium_300_yolov8m_20t7_new gun, wrench Detection preview by Segmentatation_v8_medium_train_250 gun, wrench Detection preview by Segmentation_V11_large_300_train_300 gun, wrench Detection preview by Segmentation_v8_large_300_train_300
Original Image: P01167.jpg
GT: gun, pliers, wrench
gun, pliers, wrench Detection preview by Box_v11_medium_train_SIXray_OPIXray pliers Detection preview by DN_Medium_300_yolov8m_20t7_new gun, wrench Detection preview by Segmentatation_v8_medium_train_250 gun, wrench Detection preview by Segmentation_V11_large_300_train_300 gun, wrench Detection preview by Segmentation_v8_large_300_train_300
Original Image: P01168.jpg
GT: gun, pliers, wrench
gun, pliers, wrench Detection preview by Box_v11_medium_train_SIXray_OPIXray pliers Detection preview by DN_Medium_300_yolov8m_20t7_new gun, wrench Detection preview by Segmentatation_v8_medium_train_250 gun, wrench Detection preview by Segmentation_V11_large_300_train_300 gun, wrench Detection preview by Segmentation_v8_large_300_train_300
Original Image: P01169.jpg
GT: gun, pliers
gun, pliers Detection preview by Box_v11_medium_train_SIXray_OPIXray No objects detected Detection preview by DN_Medium_300_yolov8m_20t7_new gun Detection preview by Segmentatation_v8_medium_train_250 gun Detection preview by Segmentation_V11_large_300_train_300 gun Detection preview by Segmentation_v8_large_300_train_300
Original Image: P01170.jpg
GT: gun, pliers
gun, pliers Detection preview by Box_v11_medium_train_SIXray_OPIXray No objects detected Detection preview by DN_Medium_300_yolov8m_20t7_new gun Detection preview by Segmentatation_v8_medium_train_250 gun Detection preview by Segmentation_V11_large_300_train_300 gun Detection preview by Segmentation_v8_large_300_train_300
Original Image: P01171.jpg
GT: gun, pliers
gun, pliers Detection preview by Box_v11_medium_train_SIXray_OPIXray No objects detected Detection preview by DN_Medium_300_yolov8m_20t7_new gun Detection preview by Segmentatation_v8_medium_train_250 gun Detection preview by Segmentation_V11_large_300_train_300 gun Detection preview by Segmentation_v8_large_300_train_300
Original Image: P01172.jpg
GT: gun, pliers
gun, pliers Detection preview by Box_v11_medium_train_SIXray_OPIXray No objects detected Detection preview by DN_Medium_300_yolov8m_20t7_new gun Detection preview by Segmentatation_v8_medium_train_250 gun Detection preview by Segmentation_V11_large_300_train_300 gun Detection preview by Segmentation_v8_large_300_train_300
Original Image: P01173.jpg
GT: gun, pliers
gun, pliers Detection preview by Box_v11_medium_train_SIXray_OPIXray No objects detected Detection preview by DN_Medium_300_yolov8m_20t7_new gun Detection preview by Segmentatation_v8_medium_train_250 gun Detection preview by Segmentation_V11_large_300_train_300 gun Detection preview by Segmentation_v8_large_300_train_300
Original Image: P01174.jpg
GT: gun, pliers
gun, pliers Detection preview by Box_v11_medium_train_SIXray_OPIXray pliers Detection preview by DN_Medium_300_yolov8m_20t7_new gun Detection preview by Segmentatation_v8_medium_train_250 gun Detection preview by Segmentation_V11_large_300_train_300 gun Detection preview by Segmentation_v8_large_300_train_300
Original Image: P01175.jpg
GT: gun, pliers
gun, pliers Detection preview by Box_v11_medium_train_SIXray_OPIXray No objects detected Detection preview by DN_Medium_300_yolov8m_20t7_new gun Detection preview by Segmentatation_v8_medium_train_250 gun Detection preview by Segmentation_V11_large_300_train_300 gun Detection preview by Segmentation_v8_large_300_train_300
Original Image: P01176.jpg
GT: gun, pliers
gun, pliers Detection preview by Box_v11_medium_train_SIXray_OPIXray No objects detected Detection preview by DN_Medium_300_yolov8m_20t7_new gun Detection preview by Segmentatation_v8_medium_train_250 gun Detection preview by Segmentation_V11_large_300_train_300 gun Detection preview by Segmentation_v8_large_300_train_300
Original Image: P01177.jpg
GT: gun, pliers
gun, pliers Detection preview by Box_v11_medium_train_SIXray_OPIXray No objects detected Detection preview by DN_Medium_300_yolov8m_20t7_new gun Detection preview by Segmentatation_v8_medium_train_250 gun Detection preview by Segmentation_V11_large_300_train_300 gun Detection preview by Segmentation_v8_large_300_train_300
Original Image: P01178.jpg
GT: gun, pliers
gun, pliers Detection preview by Box_v11_medium_train_SIXray_OPIXray No objects detected Detection preview by DN_Medium_300_yolov8m_20t7_new gun Detection preview by Segmentatation_v8_medium_train_250 gun Detection preview by Segmentation_V11_large_300_train_300 gun Detection preview by Segmentation_v8_large_300_train_300
Original Image: P01179.jpg
GT: gun
gun Detection preview by Box_v11_medium_train_SIXray_OPIXray No objects detected Detection preview by DN_Medium_300_yolov8m_20t7_new gun Detection preview by Segmentatation_v8_medium_train_250 gun Detection preview by Segmentation_V11_large_300_train_300 gun Detection preview by Segmentation_v8_large_300_train_300
Original Image: P01180.jpg
GT: gun, pliers
gun, pliers Detection preview by Box_v11_medium_train_SIXray_OPIXray pliers Detection preview by DN_Medium_300_yolov8m_20t7_new gun Detection preview by Segmentatation_v8_medium_train_250 gun Detection preview by Segmentation_V11_large_300_train_300 gun Detection preview by Segmentation_v8_large_300_train_300
Original Image: P01181.jpg
GT: gun
gun Detection preview by Box_v11_medium_train_SIXray_OPIXray No objects detected Detection preview by DN_Medium_300_yolov8m_20t7_new gun Detection preview by Segmentatation_v8_medium_train_250 gun Detection preview by Segmentation_V11_large_300_train_300 gun Detection preview by Segmentation_v8_large_300_train_300
Original Image: P01182.jpg
GT: gun, pliers
gun, pliers Detection preview by Box_v11_medium_train_SIXray_OPIXray No objects detected Detection preview by DN_Medium_300_yolov8m_20t7_new gun Detection preview by Segmentatation_v8_medium_train_250 gun Detection preview by Segmentation_V11_large_300_train_300 gun Detection preview by Segmentation_v8_large_300_train_300
Original Image: P01183.jpg
GT: gun, pliers
gun, pliers Detection preview by Box_v11_medium_train_SIXray_OPIXray No objects detected Detection preview by DN_Medium_300_yolov8m_20t7_new gun Detection preview by Segmentatation_v8_medium_train_250 gun Detection preview by Segmentation_V11_large_300_train_300 gun Detection preview by Segmentation_v8_large_300_train_300
Original Image: P01184.jpg
GT: gun, pliers
gun, pliers Detection preview by Box_v11_medium_train_SIXray_OPIXray pliers Detection preview by DN_Medium_300_yolov8m_20t7_new gun Detection preview by Segmentatation_v8_medium_train_250 gun Detection preview by Segmentation_V11_large_300_train_300 gun Detection preview by Segmentation_v8_large_300_train_300
Original Image: P01185.jpg
GT: gun, pliers
gun, pliers Detection preview by Box_v11_medium_train_SIXray_OPIXray No objects detected Detection preview by DN_Medium_300_yolov8m_20t7_new gun Detection preview by Segmentatation_v8_medium_train_250 gun Detection preview by Segmentation_V11_large_300_train_300 gun Detection preview by Segmentation_v8_large_300_train_300
Original Image: P01186.jpg
GT: gun, pliers
gun, pliers Detection preview by Box_v11_medium_train_SIXray_OPIXray No objects detected Detection preview by DN_Medium_300_yolov8m_20t7_new gun Detection preview by Segmentatation_v8_medium_train_250 gun Detection preview by Segmentation_V11_large_300_train_300 gun Detection preview by Segmentation_v8_large_300_train_300
Original Image: P01187.jpg
GT: gun, pliers
gun, pliers Detection preview by Box_v11_medium_train_SIXray_OPIXray No objects detected Detection preview by DN_Medium_300_yolov8m_20t7_new gun Detection preview by Segmentatation_v8_medium_train_250 gun Detection preview by Segmentation_V11_large_300_train_300 gun Detection preview by Segmentation_v8_large_300_train_300
Original Image: P01188.jpg
GT: gun, pliers
gun, pliers Detection preview by Box_v11_medium_train_SIXray_OPIXray pliers Detection preview by DN_Medium_300_yolov8m_20t7_new gun Detection preview by Segmentatation_v8_medium_train_250 gun Detection preview by Segmentation_V11_large_300_train_300 gun Detection preview by Segmentation_v8_large_300_train_300
Original Image: P01189.jpg
GT: gun, pliers
gun, pliers Detection preview by Box_v11_medium_train_SIXray_OPIXray pliers Detection preview by DN_Medium_300_yolov8m_20t7_new gun Detection preview by Segmentatation_v8_medium_train_250 gun Detection preview by Segmentation_V11_large_300_train_300 gun Detection preview by Segmentation_v8_large_300_train_300
Original Image: P01190.jpg
GT: gun, pliers
gun, pliers Detection preview by Box_v11_medium_train_SIXray_OPIXray No objects detected Detection preview by DN_Medium_300_yolov8m_20t7_new gun Detection preview by Segmentatation_v8_medium_train_250 gun Detection preview by Segmentation_V11_large_300_train_300 gun Detection preview by Segmentation_v8_large_300_train_300
Original Image: P01191.jpg
GT: gun, pliers
gun, pliers Detection preview by Box_v11_medium_train_SIXray_OPIXray No objects detected Detection preview by DN_Medium_300_yolov8m_20t7_new gun Detection preview by Segmentatation_v8_medium_train_250 gun Detection preview by Segmentation_V11_large_300_train_300 gun Detection preview by Segmentation_v8_large_300_train_300
Original Image: P01192.jpg
GT: gun, pliers
gun, pliers Detection preview by Box_v11_medium_train_SIXray_OPIXray pliers Detection preview by DN_Medium_300_yolov8m_20t7_new gun Detection preview by Segmentatation_v8_medium_train_250 gun Detection preview by Segmentation_V11_large_300_train_300 gun Detection preview by Segmentation_v8_large_300_train_300
Original Image: P01193.jpg
GT: gun, pliers
gun, pliers Detection preview by Box_v11_medium_train_SIXray_OPIXray No objects detected Detection preview by DN_Medium_300_yolov8m_20t7_new gun Detection preview by Segmentatation_v8_medium_train_250 gun Detection preview by Segmentation_V11_large_300_train_300 gun Detection preview by Segmentation_v8_large_300_train_300
Original Image: P01194.jpg
GT: gun, pliers, wrench
gun, pliers, wrench Detection preview by Box_v11_medium_train_SIXray_OPIXray pliers Detection preview by DN_Medium_300_yolov8m_20t7_new gun, wrench Detection preview by Segmentatation_v8_medium_train_250 gun, wrench Detection preview by Segmentation_V11_large_300_train_300 gun, wrench Detection preview by Segmentation_v8_large_300_train_300
Original Image: P01195.jpg
GT: gun, pliers, wrench
gun, pliers, wrench Detection preview by Box_v11_medium_train_SIXray_OPIXray pliers Detection preview by DN_Medium_300_yolov8m_20t7_new gun, wrench Detection preview by Segmentatation_v8_medium_train_250 gun, wrench Detection preview by Segmentation_V11_large_300_train_300 gun, wrench Detection preview by Segmentation_v8_large_300_train_300
Original Image: P01196.jpg
GT: gun, pliers, wrench
gun, pliers, wrench Detection preview by Box_v11_medium_train_SIXray_OPIXray pliers, wrench Detection preview by DN_Medium_300_yolov8m_20t7_new gun, wrench Detection preview by Segmentatation_v8_medium_train_250 gun, wrench Detection preview by Segmentation_V11_large_300_train_300 gun, wrench Detection preview by Segmentation_v8_large_300_train_300
Original Image: P01197.jpg
GT: gun, pliers, wrench
gun, pliers, wrench Detection preview by Box_v11_medium_train_SIXray_OPIXray pliers Detection preview by DN_Medium_300_yolov8m_20t7_new gun, wrench Detection preview by Segmentatation_v8_medium_train_250 gun, wrench Detection preview by Segmentation_V11_large_300_train_300 gun, wrench Detection preview by Segmentation_v8_large_300_train_300
Original Image: P01198.jpg
GT: gun, pliers, wrench
gun, pliers, wrench Detection preview by Box_v11_medium_train_SIXray_OPIXray pliers Detection preview by DN_Medium_300_yolov8m_20t7_new gun, wrench Detection preview by Segmentatation_v8_medium_train_250 gun, wrench Detection preview by Segmentation_V11_large_300_train_300 gun, wrench Detection preview by Segmentation_v8_large_300_train_300
Original Image: P01199.jpg
GT: gun, pliers, wrench
gun, pliers, wrench Detection preview by Box_v11_medium_train_SIXray_OPIXray pliers, wrench Detection preview by DN_Medium_300_yolov8m_20t7_new gun, wrench Detection preview by Segmentatation_v8_medium_train_250 gun, wrench Detection preview by Segmentation_V11_large_300_train_300 gun, wrench Detection preview by Segmentation_v8_large_300_train_300
Original Image: P01200.jpg
GT: gun, pliers, wrench
gun, pliers, wrench Detection preview by Box_v11_medium_train_SIXray_OPIXray pliers Detection preview by DN_Medium_300_yolov8m_20t7_new gun, wrench Detection preview by Segmentatation_v8_medium_train_250 gun, wrench Detection preview by Segmentation_V11_large_300_train_300 gun, wrench Detection preview by Segmentation_v8_large_300_train_300
Original Image: P01201.jpg
GT: gun, pliers, wrench
gun, pliers, wrench Detection preview by Box_v11_medium_train_SIXray_OPIXray No objects detected Detection preview by DN_Medium_300_yolov8m_20t7_new gun, wrench Detection preview by Segmentatation_v8_medium_train_250 gun, wrench Detection preview by Segmentation_V11_large_300_train_300 gun, wrench Detection preview by Segmentation_v8_large_300_train_300
Original Image: P01202.jpg
GT: gun
gun Detection preview by Box_v11_medium_train_SIXray_OPIXray No objects detected Detection preview by DN_Medium_300_yolov8m_20t7_new gun Detection preview by Segmentatation_v8_medium_train_250 gun Detection preview by Segmentation_V11_large_300_train_300 gun Detection preview by Segmentation_v8_large_300_train_300
Original Image: P01203.jpg
GT: gun
gun Detection preview by Box_v11_medium_train_SIXray_OPIXray No objects detected Detection preview by DN_Medium_300_yolov8m_20t7_new gun Detection preview by Segmentatation_v8_medium_train_250 gun Detection preview by Segmentation_V11_large_300_train_300 gun Detection preview by Segmentation_v8_large_300_train_300
Original Image: P01204.jpg
GT: gun
gun Detection preview by Box_v11_medium_train_SIXray_OPIXray gun Detection preview by DN_Medium_300_yolov8m_20t7_new gun Detection preview by Segmentatation_v8_medium_train_250 gun Detection preview by Segmentation_V11_large_300_train_300 gun Detection preview by Segmentation_v8_large_300_train_300
Original Image: P01205.jpg
GT: gun
gun Detection preview by Box_v11_medium_train_SIXray_OPIXray gun Detection preview by DN_Medium_300_yolov8m_20t7_new gun Detection preview by Segmentatation_v8_medium_train_250 gun Detection preview by Segmentation_V11_large_300_train_300 gun Detection preview by Segmentation_v8_large_300_train_300
Original Image: P01206.jpg
GT: gun
gun Detection preview by Box_v11_medium_train_SIXray_OPIXray No objects detected Detection preview by DN_Medium_300_yolov8m_20t7_new gun Detection preview by Segmentatation_v8_medium_train_250 gun Detection preview by Segmentation_V11_large_300_train_300 gun Detection preview by Segmentation_v8_large_300_train_300
Original Image: P01207.jpg
GT: gun
gun Detection preview by Box_v11_medium_train_SIXray_OPIXray gun Detection preview by DN_Medium_300_yolov8m_20t7_new gun Detection preview by Segmentatation_v8_medium_train_250 gun Detection preview by Segmentation_V11_large_300_train_300 gun Detection preview by Segmentation_v8_large_300_train_300
Original Image: P01208.jpg
GT: gun
gun Detection preview by Box_v11_medium_train_SIXray_OPIXray No objects detected Detection preview by DN_Medium_300_yolov8m_20t7_new gun Detection preview by Segmentatation_v8_medium_train_250 gun Detection preview by Segmentation_V11_large_300_train_300 gun Detection preview by Segmentation_v8_large_300_train_300
Original Image: P01209.jpg
GT: gun
gun Detection preview by Box_v11_medium_train_SIXray_OPIXray gun Detection preview by DN_Medium_300_yolov8m_20t7_new gun Detection preview by Segmentatation_v8_medium_train_250 gun Detection preview by Segmentation_V11_large_300_train_300 gun Detection preview by Segmentation_v8_large_300_train_300
Original Image: P01210.jpg
GT: gun
gun Detection preview by Box_v11_medium_train_SIXray_OPIXray No objects detected Detection preview by DN_Medium_300_yolov8m_20t7_new gun Detection preview by Segmentatation_v8_medium_train_250 gun Detection preview by Segmentation_V11_large_300_train_300 gun Detection preview by Segmentation_v8_large_300_train_300
Original Image: P01211.jpg
GT: gun
gun Detection preview by Box_v11_medium_train_SIXray_OPIXray gun Detection preview by DN_Medium_300_yolov8m_20t7_new gun Detection preview by Segmentatation_v8_medium_train_250 gun Detection preview by Segmentation_V11_large_300_train_300 gun Detection preview by Segmentation_v8_large_300_train_300
Original Image: P01212.jpg
GT: gun
gun Detection preview by Box_v11_medium_train_SIXray_OPIXray No objects detected Detection preview by DN_Medium_300_yolov8m_20t7_new gun Detection preview by Segmentatation_v8_medium_train_250 gun Detection preview by Segmentation_V11_large_300_train_300 gun Detection preview by Segmentation_v8_large_300_train_300
Original Image: P01213.jpg
GT: gun
gun Detection preview by Box_v11_medium_train_SIXray_OPIXray No objects detected Detection preview by DN_Medium_300_yolov8m_20t7_new gun Detection preview by Segmentatation_v8_medium_train_250 gun Detection preview by Segmentation_V11_large_300_train_300 gun Detection preview by Segmentation_v8_large_300_train_300
Original Image: P01214.jpg
GT: gun
gun Detection preview by Box_v11_medium_train_SIXray_OPIXray No objects detected Detection preview by DN_Medium_300_yolov8m_20t7_new gun Detection preview by Segmentatation_v8_medium_train_250 gun Detection preview by Segmentation_V11_large_300_train_300 gun Detection preview by Segmentation_v8_large_300_train_300
Original Image: P01215.jpg
GT: gun
gun Detection preview by Box_v11_medium_train_SIXray_OPIXray gun Detection preview by DN_Medium_300_yolov8m_20t7_new gun Detection preview by Segmentatation_v8_medium_train_250 gun Detection preview by Segmentation_V11_large_300_train_300 gun Detection preview by Segmentation_v8_large_300_train_300
Original Image: P01216.jpg
GT: gun
gun Detection preview by Box_v11_medium_train_SIXray_OPIXray No objects detected Detection preview by DN_Medium_300_yolov8m_20t7_new gun Detection preview by Segmentatation_v8_medium_train_250 gun Detection preview by Segmentation_V11_large_300_train_300 gun Detection preview by Segmentation_v8_large_300_train_300
Original Image: P01217.jpg
GT: gun
gun Detection preview by Box_v11_medium_train_SIXray_OPIXray No objects detected Detection preview by DN_Medium_300_yolov8m_20t7_new gun Detection preview by Segmentatation_v8_medium_train_250 gun Detection preview by Segmentation_V11_large_300_train_300 gun Detection preview by Segmentation_v8_large_300_train_300
Original Image: P01218.jpg
GT: gun
gun Detection preview by Box_v11_medium_train_SIXray_OPIXray No objects detected Detection preview by DN_Medium_300_yolov8m_20t7_new gun Detection preview by Segmentatation_v8_medium_train_250 gun Detection preview by Segmentation_V11_large_300_train_300 gun Detection preview by Segmentation_v8_large_300_train_300
Original Image: P01219.jpg
GT: gun
gun Detection preview by Box_v11_medium_train_SIXray_OPIXray gun Detection preview by DN_Medium_300_yolov8m_20t7_new gun Detection preview by Segmentatation_v8_medium_train_250 gun Detection preview by Segmentation_V11_large_300_train_300 gun Detection preview by Segmentation_v8_large_300_train_300
Original Image: P01220.jpg
GT: gun
gun Detection preview by Box_v11_medium_train_SIXray_OPIXray gun Detection preview by DN_Medium_300_yolov8m_20t7_new gun Detection preview by Segmentatation_v8_medium_train_250 gun Detection preview by Segmentation_V11_large_300_train_300 gun Detection preview by Segmentation_v8_large_300_train_300
Original Image: P01221.jpg
GT: gun
gun Detection preview by Box_v11_medium_train_SIXray_OPIXray No objects detected Detection preview by DN_Medium_300_yolov8m_20t7_new gun Detection preview by Segmentatation_v8_medium_train_250 gun Detection preview by Segmentation_V11_large_300_train_300 gun Detection preview by Segmentation_v8_large_300_train_300
Original Image: P01222.jpg
GT: gun
gun Detection preview by Box_v11_medium_train_SIXray_OPIXray No objects detected Detection preview by DN_Medium_300_yolov8m_20t7_new gun Detection preview by Segmentatation_v8_medium_train_250 gun Detection preview by Segmentation_V11_large_300_train_300 gun Detection preview by Segmentation_v8_large_300_train_300
Original Image: P01223.jpg
GT: gun
gun Detection preview by Box_v11_medium_train_SIXray_OPIXray No objects detected Detection preview by DN_Medium_300_yolov8m_20t7_new gun Detection preview by Segmentatation_v8_medium_train_250 gun Detection preview by Segmentation_V11_large_300_train_300 gun Detection preview by Segmentation_v8_large_300_train_300
Original Image: P01224.jpg
GT: gun
gun Detection preview by Box_v11_medium_train_SIXray_OPIXray No objects detected Detection preview by DN_Medium_300_yolov8m_20t7_new gun Detection preview by Segmentatation_v8_medium_train_250 gun Detection preview by Segmentation_V11_large_300_train_300 gun Detection preview by Segmentation_v8_large_300_train_300
Original Image: P01225.jpg
GT: gun
gun Detection preview by Box_v11_medium_train_SIXray_OPIXray No objects detected Detection preview by DN_Medium_300_yolov8m_20t7_new gun Detection preview by Segmentatation_v8_medium_train_250 gun Detection preview by Segmentation_V11_large_300_train_300 gun Detection preview by Segmentation_v8_large_300_train_300
Original Image: P01226.jpg
GT: gun
gun Detection preview by Box_v11_medium_train_SIXray_OPIXray No objects detected Detection preview by DN_Medium_300_yolov8m_20t7_new gun Detection preview by Segmentatation_v8_medium_train_250 gun Detection preview by Segmentation_V11_large_300_train_300 gun Detection preview by Segmentation_v8_large_300_train_300
Original Image: P01227.jpg
GT: gun
gun Detection preview by Box_v11_medium_train_SIXray_OPIXray No objects detected Detection preview by DN_Medium_300_yolov8m_20t7_new gun Detection preview by Segmentatation_v8_medium_train_250 gun Detection preview by Segmentation_V11_large_300_train_300 gun Detection preview by Segmentation_v8_large_300_train_300
Original Image: P01228.jpg
GT: gun
gun Detection preview by Box_v11_medium_train_SIXray_OPIXray No objects detected Detection preview by DN_Medium_300_yolov8m_20t7_new gun Detection preview by Segmentatation_v8_medium_train_250 gun Detection preview by Segmentation_V11_large_300_train_300 gun Detection preview by Segmentation_v8_large_300_train_300
Original Image: P01229.jpg
GT: gun
gun Detection preview by Box_v11_medium_train_SIXray_OPIXray No objects detected Detection preview by DN_Medium_300_yolov8m_20t7_new gun Detection preview by Segmentatation_v8_medium_train_250 gun Detection preview by Segmentation_V11_large_300_train_300 gun Detection preview by Segmentation_v8_large_300_train_300
Original Image: P01230.jpg
GT: gun
gun Detection preview by Box_v11_medium_train_SIXray_OPIXray No objects detected Detection preview by DN_Medium_300_yolov8m_20t7_new gun Detection preview by Segmentatation_v8_medium_train_250 gun Detection preview by Segmentation_V11_large_300_train_300 gun Detection preview by Segmentation_v8_large_300_train_300
Original Image: P01231.jpg
GT: gun
gun Detection preview by Box_v11_medium_train_SIXray_OPIXray No objects detected Detection preview by DN_Medium_300_yolov8m_20t7_new gun Detection preview by Segmentatation_v8_medium_train_250 gun Detection preview by Segmentation_V11_large_300_train_300 gun Detection preview by Segmentation_v8_large_300_train_300
Original Image: P01232.jpg
GT: gun
gun Detection preview by Box_v11_medium_train_SIXray_OPIXray No objects detected Detection preview by DN_Medium_300_yolov8m_20t7_new gun Detection preview by Segmentatation_v8_medium_train_250 gun Detection preview by Segmentation_V11_large_300_train_300 gun Detection preview by Segmentation_v8_large_300_train_300
Original Image: P01233.jpg
GT: gun
gun Detection preview by Box_v11_medium_train_SIXray_OPIXray No objects detected Detection preview by DN_Medium_300_yolov8m_20t7_new gun Detection preview by Segmentatation_v8_medium_train_250 gun Detection preview by Segmentation_V11_large_300_train_300 gun Detection preview by Segmentation_v8_large_300_train_300
Original Image: P01234.jpg
GT: gun
gun Detection preview by Box_v11_medium_train_SIXray_OPIXray No objects detected Detection preview by DN_Medium_300_yolov8m_20t7_new gun Detection preview by Segmentatation_v8_medium_train_250 gun Detection preview by Segmentation_V11_large_300_train_300 gun Detection preview by Segmentation_v8_large_300_train_300
Original Image: P01235.jpg
GT: gun
gun Detection preview by Box_v11_medium_train_SIXray_OPIXray No objects detected Detection preview by DN_Medium_300_yolov8m_20t7_new gun Detection preview by Segmentatation_v8_medium_train_250 gun Detection preview by Segmentation_V11_large_300_train_300 gun Detection preview by Segmentation_v8_large_300_train_300
Original Image: P01236.jpg
GT: gun
gun Detection preview by Box_v11_medium_train_SIXray_OPIXray No objects detected Detection preview by DN_Medium_300_yolov8m_20t7_new gun Detection preview by Segmentatation_v8_medium_train_250 gun Detection preview by Segmentation_V11_large_300_train_300 gun Detection preview by Segmentation_v8_large_300_train_300
Original Image: P01237.jpg
GT: gun
gun Detection preview by Box_v11_medium_train_SIXray_OPIXray No objects detected Detection preview by DN_Medium_300_yolov8m_20t7_new gun Detection preview by Segmentatation_v8_medium_train_250 gun Detection preview by Segmentation_V11_large_300_train_300 gun Detection preview by Segmentation_v8_large_300_train_300
Original Image: P01238.jpg
GT: gun
gun Detection preview by Box_v11_medium_train_SIXray_OPIXray No objects detected Detection preview by DN_Medium_300_yolov8m_20t7_new gun Detection preview by Segmentatation_v8_medium_train_250 gun Detection preview by Segmentation_V11_large_300_train_300 gun Detection preview by Segmentation_v8_large_300_train_300
Original Image: P01239.jpg
GT: gun
gun Detection preview by Box_v11_medium_train_SIXray_OPIXray No objects detected Detection preview by DN_Medium_300_yolov8m_20t7_new gun Detection preview by Segmentatation_v8_medium_train_250 gun Detection preview by Segmentation_V11_large_300_train_300 gun Detection preview by Segmentation_v8_large_300_train_300
Original Image: P01240.jpg
GT: gun
gun Detection preview by Box_v11_medium_train_SIXray_OPIXray No objects detected Detection preview by DN_Medium_300_yolov8m_20t7_new gun Detection preview by Segmentatation_v8_medium_train_250 gun Detection preview by Segmentation_V11_large_300_train_300 gun Detection preview by Segmentation_v8_large_300_train_300
Original Image: P01241.jpg
GT: gun
gun Detection preview by Box_v11_medium_train_SIXray_OPIXray No objects detected Detection preview by DN_Medium_300_yolov8m_20t7_new gun Detection preview by Segmentatation_v8_medium_train_250 gun Detection preview by Segmentation_V11_large_300_train_300 gun Detection preview by Segmentation_v8_large_300_train_300
Original Image: P01242.jpg
GT: gun
gun Detection preview by Box_v11_medium_train_SIXray_OPIXray No objects detected Detection preview by DN_Medium_300_yolov8m_20t7_new gun Detection preview by Segmentatation_v8_medium_train_250 gun Detection preview by Segmentation_V11_large_300_train_300 gun Detection preview by Segmentation_v8_large_300_train_300
Original Image: P01243.jpg
GT: gun
gun Detection preview by Box_v11_medium_train_SIXray_OPIXray No objects detected Detection preview by DN_Medium_300_yolov8m_20t7_new gun Detection preview by Segmentatation_v8_medium_train_250 gun Detection preview by Segmentation_V11_large_300_train_300 gun Detection preview by Segmentation_v8_large_300_train_300
Original Image: P01244.jpg
GT: gun
gun Detection preview by Box_v11_medium_train_SIXray_OPIXray No objects detected Detection preview by DN_Medium_300_yolov8m_20t7_new gun Detection preview by Segmentatation_v8_medium_train_250 gun Detection preview by Segmentation_V11_large_300_train_300 gun Detection preview by Segmentation_v8_large_300_train_300
Original Image: P01245.jpg
GT: gun
gun Detection preview by Box_v11_medium_train_SIXray_OPIXray No objects detected Detection preview by DN_Medium_300_yolov8m_20t7_new gun Detection preview by Segmentatation_v8_medium_train_250 gun Detection preview by Segmentation_V11_large_300_train_300 gun Detection preview by Segmentation_v8_large_300_train_300
Original Image: P01246.jpg
GT: gun
gun Detection preview by Box_v11_medium_train_SIXray_OPIXray No objects detected Detection preview by DN_Medium_300_yolov8m_20t7_new gun Detection preview by Segmentatation_v8_medium_train_250 gun Detection preview by Segmentation_V11_large_300_train_300 gun Detection preview by Segmentation_v8_large_300_train_300
Original Image: P01247.jpg
GT: gun
gun Detection preview by Box_v11_medium_train_SIXray_OPIXray No objects detected Detection preview by DN_Medium_300_yolov8m_20t7_new gun Detection preview by Segmentatation_v8_medium_train_250 gun Detection preview by Segmentation_V11_large_300_train_300 gun Detection preview by Segmentation_v8_large_300_train_300
Original Image: P01248.jpg
GT: gun
gun Detection preview by Box_v11_medium_train_SIXray_OPIXray No objects detected Detection preview by DN_Medium_300_yolov8m_20t7_new gun Detection preview by Segmentatation_v8_medium_train_250 gun Detection preview by Segmentation_V11_large_300_train_300 gun Detection preview by Segmentation_v8_large_300_train_300
Original Image: P01249.jpg
GT: gun
gun Detection preview by Box_v11_medium_train_SIXray_OPIXray No objects detected Detection preview by DN_Medium_300_yolov8m_20t7_new gun Detection preview by Segmentatation_v8_medium_train_250 gun Detection preview by Segmentation_V11_large_300_train_300 gun Detection preview by Segmentation_v8_large_300_train_300
Original Image: P01250.jpg
GT: gun
gun Detection preview by Box_v11_medium_train_SIXray_OPIXray No objects detected Detection preview by DN_Medium_300_yolov8m_20t7_new gun Detection preview by Segmentatation_v8_medium_train_250 gun Detection preview by Segmentation_V11_large_300_train_300 gun Detection preview by Segmentation_v8_large_300_train_300
Original Image: P01251.jpg
GT: gun
gun Detection preview by Box_v11_medium_train_SIXray_OPIXray gun Detection preview by DN_Medium_300_yolov8m_20t7_new gun Detection preview by Segmentatation_v8_medium_train_250 gun Detection preview by Segmentation_V11_large_300_train_300 gun Detection preview by Segmentation_v8_large_300_train_300
Original Image: P01252.jpg
GT: gun
gun Detection preview by Box_v11_medium_train_SIXray_OPIXray gun Detection preview by DN_Medium_300_yolov8m_20t7_new gun Detection preview by Segmentatation_v8_medium_train_250 gun Detection preview by Segmentation_V11_large_300_train_300 gun Detection preview by Segmentation_v8_large_300_train_300
Original Image: P01253.jpg
GT: gun
gun Detection preview by Box_v11_medium_train_SIXray_OPIXray No objects detected Detection preview by DN_Medium_300_yolov8m_20t7_new gun Detection preview by Segmentatation_v8_medium_train_250 gun Detection preview by Segmentation_V11_large_300_train_300 gun Detection preview by Segmentation_v8_large_300_train_300
Original Image: P01254.jpg
GT: gun
gun Detection preview by Box_v11_medium_train_SIXray_OPIXray No objects detected Detection preview by DN_Medium_300_yolov8m_20t7_new gun Detection preview by Segmentatation_v8_medium_train_250 gun Detection preview by Segmentation_V11_large_300_train_300 gun Detection preview by Segmentation_v8_large_300_train_300
Original Image: P01255.jpg
GT: gun
gun Detection preview by Box_v11_medium_train_SIXray_OPIXray No objects detected Detection preview by DN_Medium_300_yolov8m_20t7_new gun Detection preview by Segmentatation_v8_medium_train_250 gun Detection preview by Segmentation_V11_large_300_train_300 gun Detection preview by Segmentation_v8_large_300_train_300
Original Image: P01256.jpg
GT: gun
gun Detection preview by Box_v11_medium_train_SIXray_OPIXray No objects detected Detection preview by DN_Medium_300_yolov8m_20t7_new gun Detection preview by Segmentatation_v8_medium_train_250 gun Detection preview by Segmentation_V11_large_300_train_300 gun Detection preview by Segmentation_v8_large_300_train_300
Original Image: P01257.jpg
GT: gun
gun Detection preview by Box_v11_medium_train_SIXray_OPIXray No objects detected Detection preview by DN_Medium_300_yolov8m_20t7_new gun Detection preview by Segmentatation_v8_medium_train_250 gun Detection preview by Segmentation_V11_large_300_train_300 gun Detection preview by Segmentation_v8_large_300_train_300
Original Image: P01258.jpg
GT: gun
gun Detection preview by Box_v11_medium_train_SIXray_OPIXray No objects detected Detection preview by DN_Medium_300_yolov8m_20t7_new gun Detection preview by Segmentatation_v8_medium_train_250 gun Detection preview by Segmentation_V11_large_300_train_300 gun Detection preview by Segmentation_v8_large_300_train_300
Original Image: P01259.jpg
GT: gun
gun Detection preview by Box_v11_medium_train_SIXray_OPIXray No objects detected Detection preview by DN_Medium_300_yolov8m_20t7_new gun Detection preview by Segmentatation_v8_medium_train_250 gun Detection preview by Segmentation_V11_large_300_train_300 gun Detection preview by Segmentation_v8_large_300_train_300
Original Image: P01260.jpg
GT: gun
gun Detection preview by Box_v11_medium_train_SIXray_OPIXray No objects detected Detection preview by DN_Medium_300_yolov8m_20t7_new gun Detection preview by Segmentatation_v8_medium_train_250 gun Detection preview by Segmentation_V11_large_300_train_300 gun Detection preview by Segmentation_v8_large_300_train_300
Original Image: P01261.jpg
GT: gun
gun Detection preview by Box_v11_medium_train_SIXray_OPIXray No objects detected Detection preview by DN_Medium_300_yolov8m_20t7_new gun Detection preview by Segmentatation_v8_medium_train_250 gun Detection preview by Segmentation_V11_large_300_train_300 gun Detection preview by Segmentation_v8_large_300_train_300
Original Image: P01262.jpg
GT: gun
gun Detection preview by Box_v11_medium_train_SIXray_OPIXray No objects detected Detection preview by DN_Medium_300_yolov8m_20t7_new gun Detection preview by Segmentatation_v8_medium_train_250 gun Detection preview by Segmentation_V11_large_300_train_300 gun Detection preview by Segmentation_v8_large_300_train_300
Original Image: P01263.jpg
GT: gun
gun Detection preview by Box_v11_medium_train_SIXray_OPIXray No objects detected Detection preview by DN_Medium_300_yolov8m_20t7_new gun Detection preview by Segmentatation_v8_medium_train_250 gun Detection preview by Segmentation_V11_large_300_train_300 gun Detection preview by Segmentation_v8_large_300_train_300
Original Image: P01264.jpg
GT: gun
gun Detection preview by Box_v11_medium_train_SIXray_OPIXray No objects detected Detection preview by DN_Medium_300_yolov8m_20t7_new gun Detection preview by Segmentatation_v8_medium_train_250 gun Detection preview by Segmentation_V11_large_300_train_300 gun Detection preview by Segmentation_v8_large_300_train_300
Original Image: P01265.jpg
GT: gun
gun Detection preview by Box_v11_medium_train_SIXray_OPIXray No objects detected Detection preview by DN_Medium_300_yolov8m_20t7_new gun Detection preview by Segmentatation_v8_medium_train_250 gun Detection preview by Segmentation_V11_large_300_train_300 gun Detection preview by Segmentation_v8_large_300_train_300
Original Image: P01266.jpg
GT: gun
gun Detection preview by Box_v11_medium_train_SIXray_OPIXray No objects detected Detection preview by DN_Medium_300_yolov8m_20t7_new gun Detection preview by Segmentatation_v8_medium_train_250 gun Detection preview by Segmentation_V11_large_300_train_300 gun Detection preview by Segmentation_v8_large_300_train_300
Original Image: P01267.jpg
GT: gun
gun Detection preview by Box_v11_medium_train_SIXray_OPIXray No objects detected Detection preview by DN_Medium_300_yolov8m_20t7_new gun Detection preview by Segmentatation_v8_medium_train_250 gun Detection preview by Segmentation_V11_large_300_train_300 gun Detection preview by Segmentation_v8_large_300_train_300
Original Image: P01268.jpg
GT: gun
gun Detection preview by Box_v11_medium_train_SIXray_OPIXray No objects detected Detection preview by DN_Medium_300_yolov8m_20t7_new gun Detection preview by Segmentatation_v8_medium_train_250 gun Detection preview by Segmentation_V11_large_300_train_300 gun Detection preview by Segmentation_v8_large_300_train_300
Original Image: P01269.jpg
GT: gun, pliers
gun, pliers Detection preview by Box_v11_medium_train_SIXray_OPIXray pliers Detection preview by DN_Medium_300_yolov8m_20t7_new gun Detection preview by Segmentatation_v8_medium_train_250 gun Detection preview by Segmentation_V11_large_300_train_300 gun Detection preview by Segmentation_v8_large_300_train_300
Original Image: P01270.jpg
GT: gun, pliers
gun, pliers Detection preview by Box_v11_medium_train_SIXray_OPIXray No objects detected Detection preview by DN_Medium_300_yolov8m_20t7_new gun Detection preview by Segmentatation_v8_medium_train_250 gun Detection preview by Segmentation_V11_large_300_train_300 gun Detection preview by Segmentation_v8_large_300_train_300
Original Image: P01271.jpg
GT: gun, pliers
gun, pliers Detection preview by Box_v11_medium_train_SIXray_OPIXray pliers Detection preview by DN_Medium_300_yolov8m_20t7_new gun Detection preview by Segmentatation_v8_medium_train_250 gun Detection preview by Segmentation_V11_large_300_train_300 gun Detection preview by Segmentation_v8_large_300_train_300
Original Image: P01272.jpg
GT: gun, pliers
gun, pliers Detection preview by Box_v11_medium_train_SIXray_OPIXray No objects detected Detection preview by DN_Medium_300_yolov8m_20t7_new gun Detection preview by Segmentatation_v8_medium_train_250 gun Detection preview by Segmentation_V11_large_300_train_300 gun Detection preview by Segmentation_v8_large_300_train_300
Original Image: P01273.jpg
GT: gun, pliers
gun, pliers Detection preview by Box_v11_medium_train_SIXray_OPIXray No objects detected Detection preview by DN_Medium_300_yolov8m_20t7_new gun Detection preview by Segmentatation_v8_medium_train_250 gun Detection preview by Segmentation_V11_large_300_train_300 gun Detection preview by Segmentation_v8_large_300_train_300
Original Image: P01274.jpg
GT: gun, pliers
gun, pliers Detection preview by Box_v11_medium_train_SIXray_OPIXray pliers Detection preview by DN_Medium_300_yolov8m_20t7_new gun Detection preview by Segmentatation_v8_medium_train_250 gun Detection preview by Segmentation_V11_large_300_train_300 gun Detection preview by Segmentation_v8_large_300_train_300
Original Image: P01275.jpg
GT: gun, pliers
gun, pliers Detection preview by Box_v11_medium_train_SIXray_OPIXray pliers Detection preview by DN_Medium_300_yolov8m_20t7_new gun Detection preview by Segmentatation_v8_medium_train_250 gun Detection preview by Segmentation_V11_large_300_train_300 gun Detection preview by Segmentation_v8_large_300_train_300
Original Image: P01276.jpg
GT: gun, pliers
gun, pliers Detection preview by Box_v11_medium_train_SIXray_OPIXray pliers Detection preview by DN_Medium_300_yolov8m_20t7_new gun Detection preview by Segmentatation_v8_medium_train_250 gun Detection preview by Segmentation_V11_large_300_train_300 gun Detection preview by Segmentation_v8_large_300_train_300
Original Image: P01277.jpg
GT: gun, pliers
gun, pliers Detection preview by Box_v11_medium_train_SIXray_OPIXray No objects detected Detection preview by DN_Medium_300_yolov8m_20t7_new gun Detection preview by Segmentatation_v8_medium_train_250 gun Detection preview by Segmentation_V11_large_300_train_300 gun Detection preview by Segmentation_v8_large_300_train_300
Original Image: P01278.jpg
GT: gun, pliers
gun, pliers Detection preview by Box_v11_medium_train_SIXray_OPIXray pliers Detection preview by DN_Medium_300_yolov8m_20t7_new gun Detection preview by Segmentatation_v8_medium_train_250 gun Detection preview by Segmentation_V11_large_300_train_300 gun Detection preview by Segmentation_v8_large_300_train_300
Original Image: P01279.jpg
GT: gun
gun Detection preview by Box_v11_medium_train_SIXray_OPIXray No objects detected Detection preview by DN_Medium_300_yolov8m_20t7_new gun Detection preview by Segmentatation_v8_medium_train_250 gun Detection preview by Segmentation_V11_large_300_train_300 gun Detection preview by Segmentation_v8_large_300_train_300
Original Image: P01280.jpg
GT: gun
gun Detection preview by Box_v11_medium_train_SIXray_OPIXray No objects detected Detection preview by DN_Medium_300_yolov8m_20t7_new gun Detection preview by Segmentatation_v8_medium_train_250 gun Detection preview by Segmentation_V11_large_300_train_300 gun Detection preview by Segmentation_v8_large_300_train_300
Original Image: P01281.jpg
GT: gun
gun Detection preview by Box_v11_medium_train_SIXray_OPIXray No objects detected Detection preview by DN_Medium_300_yolov8m_20t7_new gun Detection preview by Segmentatation_v8_medium_train_250 gun Detection preview by Segmentation_V11_large_300_train_300 gun Detection preview by Segmentation_v8_large_300_train_300
Original Image: P01282.jpg
GT: gun
gun Detection preview by Box_v11_medium_train_SIXray_OPIXray No objects detected Detection preview by DN_Medium_300_yolov8m_20t7_new gun Detection preview by Segmentatation_v8_medium_train_250 gun Detection preview by Segmentation_V11_large_300_train_300 gun Detection preview by Segmentation_v8_large_300_train_300
Original Image: P01283.jpg
GT: gun, pliers
gun, pliers Detection preview by Box_v11_medium_train_SIXray_OPIXray No objects detected Detection preview by DN_Medium_300_yolov8m_20t7_new gun Detection preview by Segmentatation_v8_medium_train_250 gun Detection preview by Segmentation_V11_large_300_train_300 gun Detection preview by Segmentation_v8_large_300_train_300
Original Image: P01284.jpg
GT: gun, pliers
gun, pliers Detection preview by Box_v11_medium_train_SIXray_OPIXray No objects detected Detection preview by DN_Medium_300_yolov8m_20t7_new gun Detection preview by Segmentatation_v8_medium_train_250 gun Detection preview by Segmentation_V11_large_300_train_300 gun Detection preview by Segmentation_v8_large_300_train_300
Original Image: P01285.jpg
GT: gun, pliers
gun, pliers Detection preview by Box_v11_medium_train_SIXray_OPIXray No objects detected Detection preview by DN_Medium_300_yolov8m_20t7_new gun Detection preview by Segmentatation_v8_medium_train_250 gun Detection preview by Segmentation_V11_large_300_train_300 gun Detection preview by Segmentation_v8_large_300_train_300
Original Image: P01286.jpg
GT: gun, pliers
gun, pliers Detection preview by Box_v11_medium_train_SIXray_OPIXray No objects detected Detection preview by DN_Medium_300_yolov8m_20t7_new gun Detection preview by Segmentatation_v8_medium_train_250 gun Detection preview by Segmentation_V11_large_300_train_300 gun Detection preview by Segmentation_v8_large_300_train_300
Original Image: P01287.jpg
GT: gun, pliers
gun, pliers Detection preview by Box_v11_medium_train_SIXray_OPIXray No objects detected Detection preview by DN_Medium_300_yolov8m_20t7_new gun Detection preview by Segmentatation_v8_medium_train_250 gun Detection preview by Segmentation_V11_large_300_train_300 gun Detection preview by Segmentation_v8_large_300_train_300
Original Image: P01288.jpg
GT: gun, pliers
gun, pliers Detection preview by Box_v11_medium_train_SIXray_OPIXray No objects detected Detection preview by DN_Medium_300_yolov8m_20t7_new gun Detection preview by Segmentatation_v8_medium_train_250 gun Detection preview by Segmentation_V11_large_300_train_300 gun Detection preview by Segmentation_v8_large_300_train_300
Original Image: P01289.jpg
GT: gun, pliers, wrench
gun, pliers, wrench Detection preview by Box_v11_medium_train_SIXray_OPIXray pliers, wrench Detection preview by DN_Medium_300_yolov8m_20t7_new gun, wrench Detection preview by Segmentatation_v8_medium_train_250 gun, wrench Detection preview by Segmentation_V11_large_300_train_300 gun, wrench Detection preview by Segmentation_v8_large_300_train_300
Original Image: P01290.jpg
GT: gun, pliers, wrench
gun, pliers, wrench Detection preview by Box_v11_medium_train_SIXray_OPIXray pliers Detection preview by DN_Medium_300_yolov8m_20t7_new gun, wrench Detection preview by Segmentatation_v8_medium_train_250 gun, wrench Detection preview by Segmentation_V11_large_300_train_300 gun, wrench Detection preview by Segmentation_v8_large_300_train_300
Original Image: P01291.jpg
GT: gun, pliers, wrench
gun, pliers, wrench Detection preview by Box_v11_medium_train_SIXray_OPIXray wrench Detection preview by DN_Medium_300_yolov8m_20t7_new gun, wrench Detection preview by Segmentatation_v8_medium_train_250 gun, wrench Detection preview by Segmentation_V11_large_300_train_300 gun, wrench Detection preview by Segmentation_v8_large_300_train_300
Original Image: P01292.jpg
GT: gun, pliers, wrench
gun, pliers, wrench Detection preview by Box_v11_medium_train_SIXray_OPIXray wrench Detection preview by DN_Medium_300_yolov8m_20t7_new gun, wrench Detection preview by Segmentatation_v8_medium_train_250 gun, wrench Detection preview by Segmentation_V11_large_300_train_300 gun, wrench Detection preview by Segmentation_v8_large_300_train_300
Original Image: P01293.jpg
GT: gun, pliers, wrench
gun, pliers, wrench Detection preview by Box_v11_medium_train_SIXray_OPIXray No objects detected Detection preview by DN_Medium_300_yolov8m_20t7_new gun, wrench Detection preview by Segmentatation_v8_medium_train_250 gun, wrench Detection preview by Segmentation_V11_large_300_train_300 gun, wrench Detection preview by Segmentation_v8_large_300_train_300
Original Image: P01294.jpg
GT: gun, pliers, wrench
gun, pliers, wrench Detection preview by Box_v11_medium_train_SIXray_OPIXray No objects detected Detection preview by DN_Medium_300_yolov8m_20t7_new gun, wrench Detection preview by Segmentatation_v8_medium_train_250 gun, wrench Detection preview by Segmentation_V11_large_300_train_300 gun, wrench Detection preview by Segmentation_v8_large_300_train_300
Original Image: P01295.jpg
GT: gun, pliers, wrench
gun, pliers, wrench Detection preview by Box_v11_medium_train_SIXray_OPIXray pliers Detection preview by DN_Medium_300_yolov8m_20t7_new gun, wrench Detection preview by Segmentatation_v8_medium_train_250 gun, wrench Detection preview by Segmentation_V11_large_300_train_300 gun, wrench Detection preview by Segmentation_v8_large_300_train_300
Original Image: P01296.jpg
GT: gun, pliers, wrench
gun, pliers, wrench Detection preview by Box_v11_medium_train_SIXray_OPIXray pliers Detection preview by DN_Medium_300_yolov8m_20t7_new gun, wrench Detection preview by Segmentatation_v8_medium_train_250 gun, wrench Detection preview by Segmentation_V11_large_300_train_300 gun, wrench Detection preview by Segmentation_v8_large_300_train_300
Original Image: P01297.jpg
GT: gun, pliers, wrench
gun, pliers, wrench Detection preview by Box_v11_medium_train_SIXray_OPIXray wrench Detection preview by DN_Medium_300_yolov8m_20t7_new gun, wrench Detection preview by Segmentatation_v8_medium_train_250 gun, wrench Detection preview by Segmentation_V11_large_300_train_300 gun, wrench Detection preview by Segmentation_v8_large_300_train_300
Original Image: P01298.jpg
GT: gun, pliers, wrench
gun, pliers, wrench Detection preview by Box_v11_medium_train_SIXray_OPIXray wrench Detection preview by DN_Medium_300_yolov8m_20t7_new gun, wrench Detection preview by Segmentatation_v8_medium_train_250 gun, wrench Detection preview by Segmentation_V11_large_300_train_300 gun, wrench Detection preview by Segmentation_v8_large_300_train_300
Original Image: P01299.jpg
GT: gun, pliers, wrench
gun, pliers, wrench Detection preview by Box_v11_medium_train_SIXray_OPIXray wrench Detection preview by DN_Medium_300_yolov8m_20t7_new gun, wrench Detection preview by Segmentatation_v8_medium_train_250 gun, wrench Detection preview by Segmentation_V11_large_300_train_300 gun, wrench Detection preview by Segmentation_v8_large_300_train_300
Original Image: P01300.jpg
GT: gun, pliers, wrench
gun, pliers, wrench Detection preview by Box_v11_medium_train_SIXray_OPIXray No objects detected Detection preview by DN_Medium_300_yolov8m_20t7_new gun, wrench Detection preview by Segmentatation_v8_medium_train_250 gun, wrench Detection preview by Segmentation_V11_large_300_train_300 gun, wrench Detection preview by Segmentation_v8_large_300_train_300
Original Image: P01301.jpg
GT: gun, pliers, wrench
gun, pliers, wrench Detection preview by Box_v11_medium_train_SIXray_OPIXray pliers, wrench Detection preview by DN_Medium_300_yolov8m_20t7_new gun, wrench Detection preview by Segmentatation_v8_medium_train_250 gun, wrench Detection preview by Segmentation_V11_large_300_train_300 gun, wrench Detection preview by Segmentation_v8_large_300_train_300
Original Image: P01302.jpg
GT: gun, pliers, wrench
gun, pliers, wrench Detection preview by Box_v11_medium_train_SIXray_OPIXray pliers, wrench Detection preview by DN_Medium_300_yolov8m_20t7_new gun, wrench Detection preview by Segmentatation_v8_medium_train_250 gun, wrench Detection preview by Segmentation_V11_large_300_train_300 gun, wrench Detection preview by Segmentation_v8_large_300_train_300
Original Image: P01303.jpg
GT: gun, pliers, wrench
gun, pliers, wrench Detection preview by Box_v11_medium_train_SIXray_OPIXray pliers Detection preview by DN_Medium_300_yolov8m_20t7_new gun, wrench Detection preview by Segmentatation_v8_medium_train_250 gun, wrench Detection preview by Segmentation_V11_large_300_train_300 gun, wrench Detection preview by Segmentation_v8_large_300_train_300
Original Image: P01304.jpg
GT: gun, pliers, wrench
gun, pliers, wrench Detection preview by Box_v11_medium_train_SIXray_OPIXray No objects detected Detection preview by DN_Medium_300_yolov8m_20t7_new gun, wrench Detection preview by Segmentatation_v8_medium_train_250 gun, wrench Detection preview by Segmentation_V11_large_300_train_300 gun, wrench Detection preview by Segmentation_v8_large_300_train_300
Original Image: P01305.jpg
GT: gun, wrench
gun, wrench Detection preview by Box_v11_medium_train_SIXray_OPIXray No objects detected Detection preview by DN_Medium_300_yolov8m_20t7_new gun, wrench Detection preview by Segmentatation_v8_medium_train_250 gun, wrench Detection preview by Segmentation_V11_large_300_train_300 gun, wrench Detection preview by Segmentation_v8_large_300_train_300
Original Image: P01306.jpg
GT: gun, wrench
gun, wrench Detection preview by Box_v11_medium_train_SIXray_OPIXray No objects detected Detection preview by DN_Medium_300_yolov8m_20t7_new gun, wrench Detection preview by Segmentatation_v8_medium_train_250 gun, wrench Detection preview by Segmentation_V11_large_300_train_300 gun, wrench Detection preview by Segmentation_v8_large_300_train_300
Original Image: P01307.jpg
GT: gun, wrench
gun, wrench Detection preview by Box_v11_medium_train_SIXray_OPIXray gun Detection preview by DN_Medium_300_yolov8m_20t7_new gun, wrench Detection preview by Segmentatation_v8_medium_train_250 gun, wrench Detection preview by Segmentation_V11_large_300_train_300 gun, wrench Detection preview by Segmentation_v8_large_300_train_300
Original Image: P01308.jpg
GT: gun, wrench
gun, wrench Detection preview by Box_v11_medium_train_SIXray_OPIXray gun Detection preview by DN_Medium_300_yolov8m_20t7_new gun, wrench Detection preview by Segmentatation_v8_medium_train_250 gun, wrench Detection preview by Segmentation_V11_large_300_train_300 gun, wrench Detection preview by Segmentation_v8_large_300_train_300
Original Image: P01309.jpg
GT: gun
gun Detection preview by Box_v11_medium_train_SIXray_OPIXray No objects detected Detection preview by DN_Medium_300_yolov8m_20t7_new gun Detection preview by Segmentatation_v8_medium_train_250 gun Detection preview by Segmentation_V11_large_300_train_300 gun Detection preview by Segmentation_v8_large_300_train_300
Original Image: P01310.jpg
GT: gun
gun Detection preview by Box_v11_medium_train_SIXray_OPIXray No objects detected Detection preview by DN_Medium_300_yolov8m_20t7_new gun Detection preview by Segmentatation_v8_medium_train_250 gun Detection preview by Segmentation_V11_large_300_train_300 gun Detection preview by Segmentation_v8_large_300_train_300
Original Image: P01311.jpg
GT: gun
gun Detection preview by Box_v11_medium_train_SIXray_OPIXray No objects detected Detection preview by DN_Medium_300_yolov8m_20t7_new gun Detection preview by Segmentatation_v8_medium_train_250 gun Detection preview by Segmentation_V11_large_300_train_300 gun Detection preview by Segmentation_v8_large_300_train_300
Original Image: P01312.jpg
GT: gun
gun Detection preview by Box_v11_medium_train_SIXray_OPIXray No objects detected Detection preview by DN_Medium_300_yolov8m_20t7_new gun Detection preview by Segmentatation_v8_medium_train_250 gun Detection preview by Segmentation_V11_large_300_train_300 gun Detection preview by Segmentation_v8_large_300_train_300
Original Image: P01313.jpg
GT: gun
gun Detection preview by Box_v11_medium_train_SIXray_OPIXray No objects detected Detection preview by DN_Medium_300_yolov8m_20t7_new gun Detection preview by Segmentatation_v8_medium_train_250 gun Detection preview by Segmentation_V11_large_300_train_300 gun Detection preview by Segmentation_v8_large_300_train_300
Original Image: P01314.jpg
GT: gun
gun Detection preview by Box_v11_medium_train_SIXray_OPIXray No objects detected Detection preview by DN_Medium_300_yolov8m_20t7_new gun Detection preview by Segmentatation_v8_medium_train_250 gun Detection preview by Segmentation_V11_large_300_train_300 gun Detection preview by Segmentation_v8_large_300_train_300
Original Image: P01315.jpg
GT: gun
gun Detection preview by Box_v11_medium_train_SIXray_OPIXray No objects detected Detection preview by DN_Medium_300_yolov8m_20t7_new gun Detection preview by Segmentatation_v8_medium_train_250 gun Detection preview by Segmentation_V11_large_300_train_300 gun Detection preview by Segmentation_v8_large_300_train_300
Original Image: P01316.jpg
GT: gun
gun Detection preview by Box_v11_medium_train_SIXray_OPIXray No objects detected Detection preview by DN_Medium_300_yolov8m_20t7_new gun Detection preview by Segmentatation_v8_medium_train_250 gun Detection preview by Segmentation_V11_large_300_train_300 gun Detection preview by Segmentation_v8_large_300_train_300
Original Image: P01317.jpg
GT: gun
gun Detection preview by Box_v11_medium_train_SIXray_OPIXray No objects detected Detection preview by DN_Medium_300_yolov8m_20t7_new gun Detection preview by Segmentatation_v8_medium_train_250 gun Detection preview by Segmentation_V11_large_300_train_300 gun Detection preview by Segmentation_v8_large_300_train_300
Original Image: P01318.jpg
GT: gun
gun Detection preview by Box_v11_medium_train_SIXray_OPIXray No objects detected Detection preview by DN_Medium_300_yolov8m_20t7_new gun Detection preview by Segmentatation_v8_medium_train_250 gun Detection preview by Segmentation_V11_large_300_train_300 gun Detection preview by Segmentation_v8_large_300_train_300
Original Image: P01319.jpg
GT: gun
gun Detection preview by Box_v11_medium_train_SIXray_OPIXray No objects detected Detection preview by DN_Medium_300_yolov8m_20t7_new gun Detection preview by Segmentatation_v8_medium_train_250 gun Detection preview by Segmentation_V11_large_300_train_300 gun Detection preview by Segmentation_v8_large_300_train_300
Original Image: P01320.jpg
GT: gun
gun Detection preview by Box_v11_medium_train_SIXray_OPIXray No objects detected Detection preview by DN_Medium_300_yolov8m_20t7_new gun Detection preview by Segmentatation_v8_medium_train_250 gun Detection preview by Segmentation_V11_large_300_train_300 gun Detection preview by Segmentation_v8_large_300_train_300
Original Image: P01321.jpg
GT: gun
gun Detection preview by Box_v11_medium_train_SIXray_OPIXray No objects detected Detection preview by DN_Medium_300_yolov8m_20t7_new gun Detection preview by Segmentatation_v8_medium_train_250 gun Detection preview by Segmentation_V11_large_300_train_300 gun Detection preview by Segmentation_v8_large_300_train_300
Original Image: P01322.jpg
GT: gun
gun Detection preview by Box_v11_medium_train_SIXray_OPIXray No objects detected Detection preview by DN_Medium_300_yolov8m_20t7_new gun Detection preview by Segmentatation_v8_medium_train_250 gun Detection preview by Segmentation_V11_large_300_train_300 gun Detection preview by Segmentation_v8_large_300_train_300
Original Image: P01323.jpg
GT: gun
gun Detection preview by Box_v11_medium_train_SIXray_OPIXray No objects detected Detection preview by DN_Medium_300_yolov8m_20t7_new gun Detection preview by Segmentatation_v8_medium_train_250 gun Detection preview by Segmentation_V11_large_300_train_300 gun Detection preview by Segmentation_v8_large_300_train_300
Original Image: P01324.jpg
GT: gun
gun Detection preview by Box_v11_medium_train_SIXray_OPIXray No objects detected Detection preview by DN_Medium_300_yolov8m_20t7_new gun Detection preview by Segmentatation_v8_medium_train_250 gun Detection preview by Segmentation_V11_large_300_train_300 gun Detection preview by Segmentation_v8_large_300_train_300
Original Image: P01325.jpg
GT: gun
gun Detection preview by Box_v11_medium_train_SIXray_OPIXray No objects detected Detection preview by DN_Medium_300_yolov8m_20t7_new gun Detection preview by Segmentatation_v8_medium_train_250 gun Detection preview by Segmentation_V11_large_300_train_300 gun Detection preview by Segmentation_v8_large_300_train_300
Original Image: P01326.jpg
GT: gun
gun Detection preview by Box_v11_medium_train_SIXray_OPIXray No objects detected Detection preview by DN_Medium_300_yolov8m_20t7_new gun Detection preview by Segmentatation_v8_medium_train_250 gun Detection preview by Segmentation_V11_large_300_train_300 gun Detection preview by Segmentation_v8_large_300_train_300
Original Image: P01327.jpg
GT: gun
gun Detection preview by Box_v11_medium_train_SIXray_OPIXray No objects detected Detection preview by DN_Medium_300_yolov8m_20t7_new gun Detection preview by Segmentatation_v8_medium_train_250 gun Detection preview by Segmentation_V11_large_300_train_300 gun Detection preview by Segmentation_v8_large_300_train_300
Original Image: P01328.jpg
GT: gun
gun Detection preview by Box_v11_medium_train_SIXray_OPIXray No objects detected Detection preview by DN_Medium_300_yolov8m_20t7_new gun Detection preview by Segmentatation_v8_medium_train_250 gun Detection preview by Segmentation_V11_large_300_train_300 gun Detection preview by Segmentation_v8_large_300_train_300
Original Image: P01329.jpg
GT: gun
gun Detection preview by Box_v11_medium_train_SIXray_OPIXray No objects detected Detection preview by DN_Medium_300_yolov8m_20t7_new gun Detection preview by Segmentatation_v8_medium_train_250 gun Detection preview by Segmentation_V11_large_300_train_300 gun Detection preview by Segmentation_v8_large_300_train_300
Original Image: P01330.jpg
GT: gun
gun Detection preview by Box_v11_medium_train_SIXray_OPIXray No objects detected Detection preview by DN_Medium_300_yolov8m_20t7_new gun Detection preview by Segmentatation_v8_medium_train_250 gun Detection preview by Segmentation_V11_large_300_train_300 gun Detection preview by Segmentation_v8_large_300_train_300
Original Image: P01331.jpg
GT: gun
gun Detection preview by Box_v11_medium_train_SIXray_OPIXray No objects detected Detection preview by DN_Medium_300_yolov8m_20t7_new gun Detection preview by Segmentatation_v8_medium_train_250 gun Detection preview by Segmentation_V11_large_300_train_300 gun Detection preview by Segmentation_v8_large_300_train_300
Original Image: P01332.jpg
GT: gun
gun Detection preview by Box_v11_medium_train_SIXray_OPIXray No objects detected Detection preview by DN_Medium_300_yolov8m_20t7_new gun Detection preview by Segmentatation_v8_medium_train_250 gun Detection preview by Segmentation_V11_large_300_train_300 gun Detection preview by Segmentation_v8_large_300_train_300
Original Image: P01333.jpg
GT: gun
gun Detection preview by Box_v11_medium_train_SIXray_OPIXray No objects detected Detection preview by DN_Medium_300_yolov8m_20t7_new gun Detection preview by Segmentatation_v8_medium_train_250 gun Detection preview by Segmentation_V11_large_300_train_300 gun Detection preview by Segmentation_v8_large_300_train_300
Original Image: P01334.jpg
GT: gun
gun Detection preview by Box_v11_medium_train_SIXray_OPIXray No objects detected Detection preview by DN_Medium_300_yolov8m_20t7_new gun Detection preview by Segmentatation_v8_medium_train_250 gun Detection preview by Segmentation_V11_large_300_train_300 gun Detection preview by Segmentation_v8_large_300_train_300
Original Image: P01335.jpg
GT: gun
gun Detection preview by Box_v11_medium_train_SIXray_OPIXray No objects detected Detection preview by DN_Medium_300_yolov8m_20t7_new gun Detection preview by Segmentatation_v8_medium_train_250 gun Detection preview by Segmentation_V11_large_300_train_300 gun Detection preview by Segmentation_v8_large_300_train_300
Original Image: P01336.jpg
GT: gun
gun Detection preview by Box_v11_medium_train_SIXray_OPIXray No objects detected Detection preview by DN_Medium_300_yolov8m_20t7_new gun Detection preview by Segmentatation_v8_medium_train_250 gun Detection preview by Segmentation_V11_large_300_train_300 gun Detection preview by Segmentation_v8_large_300_train_300
Original Image: P01337.jpg
GT: gun
gun Detection preview by Box_v11_medium_train_SIXray_OPIXray No objects detected Detection preview by DN_Medium_300_yolov8m_20t7_new gun Detection preview by Segmentatation_v8_medium_train_250 gun Detection preview by Segmentation_V11_large_300_train_300 gun Detection preview by Segmentation_v8_large_300_train_300
Original Image: P01338.jpg
GT: gun
gun Detection preview by Box_v11_medium_train_SIXray_OPIXray No objects detected Detection preview by DN_Medium_300_yolov8m_20t7_new gun Detection preview by Segmentatation_v8_medium_train_250 gun Detection preview by Segmentation_V11_large_300_train_300 gun Detection preview by Segmentation_v8_large_300_train_300
Original Image: P01339.jpg
GT: gun
gun Detection preview by Box_v11_medium_train_SIXray_OPIXray No objects detected Detection preview by DN_Medium_300_yolov8m_20t7_new gun Detection preview by Segmentatation_v8_medium_train_250 gun Detection preview by Segmentation_V11_large_300_train_300 gun Detection preview by Segmentation_v8_large_300_train_300
Original Image: P01340.jpg
GT: gun
gun Detection preview by Box_v11_medium_train_SIXray_OPIXray No objects detected Detection preview by DN_Medium_300_yolov8m_20t7_new gun Detection preview by Segmentatation_v8_medium_train_250 gun Detection preview by Segmentation_V11_large_300_train_300 gun Detection preview by Segmentation_v8_large_300_train_300
Original Image: P01341.jpg
GT: gun
gun Detection preview by Box_v11_medium_train_SIXray_OPIXray No objects detected Detection preview by DN_Medium_300_yolov8m_20t7_new gun Detection preview by Segmentatation_v8_medium_train_250 gun Detection preview by Segmentation_V11_large_300_train_300 gun Detection preview by Segmentation_v8_large_300_train_300
Original Image: P01342.jpg
GT: gun
gun Detection preview by Box_v11_medium_train_SIXray_OPIXray No objects detected Detection preview by DN_Medium_300_yolov8m_20t7_new gun Detection preview by Segmentatation_v8_medium_train_250 gun Detection preview by Segmentation_V11_large_300_train_300 gun Detection preview by Segmentation_v8_large_300_train_300
Original Image: P01343.jpg
GT: gun
gun Detection preview by Box_v11_medium_train_SIXray_OPIXray No objects detected Detection preview by DN_Medium_300_yolov8m_20t7_new gun Detection preview by Segmentatation_v8_medium_train_250 gun Detection preview by Segmentation_V11_large_300_train_300 gun Detection preview by Segmentation_v8_large_300_train_300
Original Image: P01344.jpg
GT: gun
gun Detection preview by Box_v11_medium_train_SIXray_OPIXray No objects detected Detection preview by DN_Medium_300_yolov8m_20t7_new gun Detection preview by Segmentatation_v8_medium_train_250 gun Detection preview by Segmentation_V11_large_300_train_300 gun Detection preview by Segmentation_v8_large_300_train_300
Original Image: P01345.jpg
GT: gun
gun Detection preview by Box_v11_medium_train_SIXray_OPIXray No objects detected Detection preview by DN_Medium_300_yolov8m_20t7_new gun Detection preview by Segmentatation_v8_medium_train_250 gun Detection preview by Segmentation_V11_large_300_train_300 gun Detection preview by Segmentation_v8_large_300_train_300
Original Image: P01346.jpg
GT: gun
gun Detection preview by Box_v11_medium_train_SIXray_OPIXray No objects detected Detection preview by DN_Medium_300_yolov8m_20t7_new gun Detection preview by Segmentatation_v8_medium_train_250 gun Detection preview by Segmentation_V11_large_300_train_300 gun Detection preview by Segmentation_v8_large_300_train_300
Original Image: P01347.jpg
GT: gun
gun Detection preview by Box_v11_medium_train_SIXray_OPIXray No objects detected Detection preview by DN_Medium_300_yolov8m_20t7_new gun Detection preview by Segmentatation_v8_medium_train_250 gun Detection preview by Segmentation_V11_large_300_train_300 gun Detection preview by Segmentation_v8_large_300_train_300
Original Image: P01348.jpg
GT: gun
gun Detection preview by Box_v11_medium_train_SIXray_OPIXray No objects detected Detection preview by DN_Medium_300_yolov8m_20t7_new gun Detection preview by Segmentatation_v8_medium_train_250 gun Detection preview by Segmentation_V11_large_300_train_300 gun Detection preview by Segmentation_v8_large_300_train_300
Original Image: P01349.jpg
GT: gun
gun Detection preview by Box_v11_medium_train_SIXray_OPIXray No objects detected Detection preview by DN_Medium_300_yolov8m_20t7_new gun Detection preview by Segmentatation_v8_medium_train_250 gun Detection preview by Segmentation_V11_large_300_train_300 gun Detection preview by Segmentation_v8_large_300_train_300
Original Image: P01350.jpg
GT: gun
gun Detection preview by Box_v11_medium_train_SIXray_OPIXray No objects detected Detection preview by DN_Medium_300_yolov8m_20t7_new gun Detection preview by Segmentatation_v8_medium_train_250 gun Detection preview by Segmentation_V11_large_300_train_300 gun Detection preview by Segmentation_v8_large_300_train_300
Original Image: P01351.jpg
GT: gun
gun Detection preview by Box_v11_medium_train_SIXray_OPIXray No objects detected Detection preview by DN_Medium_300_yolov8m_20t7_new gun Detection preview by Segmentatation_v8_medium_train_250 gun Detection preview by Segmentation_V11_large_300_train_300 gun Detection preview by Segmentation_v8_large_300_train_300
Original Image: P01352.jpg
GT: gun
gun Detection preview by Box_v11_medium_train_SIXray_OPIXray No objects detected Detection preview by DN_Medium_300_yolov8m_20t7_new gun Detection preview by Segmentatation_v8_medium_train_250 gun Detection preview by Segmentation_V11_large_300_train_300 gun Detection preview by Segmentation_v8_large_300_train_300
Original Image: P01353.jpg
GT: gun
gun Detection preview by Box_v11_medium_train_SIXray_OPIXray No objects detected Detection preview by DN_Medium_300_yolov8m_20t7_new gun Detection preview by Segmentatation_v8_medium_train_250 gun Detection preview by Segmentation_V11_large_300_train_300 gun Detection preview by Segmentation_v8_large_300_train_300
Original Image: P01354.jpg
GT: gun
gun Detection preview by Box_v11_medium_train_SIXray_OPIXray No objects detected Detection preview by DN_Medium_300_yolov8m_20t7_new gun Detection preview by Segmentatation_v8_medium_train_250 gun Detection preview by Segmentation_V11_large_300_train_300 gun Detection preview by Segmentation_v8_large_300_train_300
Original Image: P01355.jpg
GT: gun
gun Detection preview by Box_v11_medium_train_SIXray_OPIXray No objects detected Detection preview by DN_Medium_300_yolov8m_20t7_new gun Detection preview by Segmentatation_v8_medium_train_250 gun Detection preview by Segmentation_V11_large_300_train_300 gun Detection preview by Segmentation_v8_large_300_train_300
Original Image: P01356.jpg
GT: gun
gun Detection preview by Box_v11_medium_train_SIXray_OPIXray No objects detected Detection preview by DN_Medium_300_yolov8m_20t7_new gun Detection preview by Segmentatation_v8_medium_train_250 gun Detection preview by Segmentation_V11_large_300_train_300 gun Detection preview by Segmentation_v8_large_300_train_300
Original Image: P01357.jpg
GT: gun
gun Detection preview by Box_v11_medium_train_SIXray_OPIXray No objects detected Detection preview by DN_Medium_300_yolov8m_20t7_new gun Detection preview by Segmentatation_v8_medium_train_250 gun Detection preview by Segmentation_V11_large_300_train_300 gun Detection preview by Segmentation_v8_large_300_train_300
Original Image: P01358.jpg
GT: gun
gun Detection preview by Box_v11_medium_train_SIXray_OPIXray No objects detected Detection preview by DN_Medium_300_yolov8m_20t7_new gun Detection preview by Segmentatation_v8_medium_train_250 gun Detection preview by Segmentation_V11_large_300_train_300 gun Detection preview by Segmentation_v8_large_300_train_300
Original Image: P01359.jpg
GT: gun
gun Detection preview by Box_v11_medium_train_SIXray_OPIXray No objects detected Detection preview by DN_Medium_300_yolov8m_20t7_new gun Detection preview by Segmentatation_v8_medium_train_250 gun Detection preview by Segmentation_V11_large_300_train_300 gun Detection preview by Segmentation_v8_large_300_train_300
Original Image: P01360.jpg
GT: gun
gun Detection preview by Box_v11_medium_train_SIXray_OPIXray No objects detected Detection preview by DN_Medium_300_yolov8m_20t7_new gun Detection preview by Segmentatation_v8_medium_train_250 gun Detection preview by Segmentation_V11_large_300_train_300 gun Detection preview by Segmentation_v8_large_300_train_300
Original Image: P01361.jpg
GT: gun
gun Detection preview by Box_v11_medium_train_SIXray_OPIXray No objects detected Detection preview by DN_Medium_300_yolov8m_20t7_new gun Detection preview by Segmentatation_v8_medium_train_250 gun Detection preview by Segmentation_V11_large_300_train_300 gun Detection preview by Segmentation_v8_large_300_train_300
Original Image: P01362.jpg
GT: gun
gun Detection preview by Box_v11_medium_train_SIXray_OPIXray No objects detected Detection preview by DN_Medium_300_yolov8m_20t7_new gun Detection preview by Segmentatation_v8_medium_train_250 gun Detection preview by Segmentation_V11_large_300_train_300 gun Detection preview by Segmentation_v8_large_300_train_300
Original Image: P01363.jpg
GT: gun
gun Detection preview by Box_v11_medium_train_SIXray_OPIXray No objects detected Detection preview by DN_Medium_300_yolov8m_20t7_new gun Detection preview by Segmentatation_v8_medium_train_250 gun Detection preview by Segmentation_V11_large_300_train_300 gun Detection preview by Segmentation_v8_large_300_train_300
Original Image: P01364.jpg
GT: gun
gun Detection preview by Box_v11_medium_train_SIXray_OPIXray No objects detected Detection preview by DN_Medium_300_yolov8m_20t7_new gun Detection preview by Segmentatation_v8_medium_train_250 gun Detection preview by Segmentation_V11_large_300_train_300 gun Detection preview by Segmentation_v8_large_300_train_300
Original Image: P01365.jpg
GT: gun
gun Detection preview by Box_v11_medium_train_SIXray_OPIXray No objects detected Detection preview by DN_Medium_300_yolov8m_20t7_new gun Detection preview by Segmentatation_v8_medium_train_250 gun Detection preview by Segmentation_V11_large_300_train_300 gun Detection preview by Segmentation_v8_large_300_train_300
Original Image: P01366.jpg
GT: gun
gun Detection preview by Box_v11_medium_train_SIXray_OPIXray No objects detected Detection preview by DN_Medium_300_yolov8m_20t7_new gun Detection preview by Segmentatation_v8_medium_train_250 gun Detection preview by Segmentation_V11_large_300_train_300 gun Detection preview by Segmentation_v8_large_300_train_300
Original Image: P01367.jpg
GT: gun
gun Detection preview by Box_v11_medium_train_SIXray_OPIXray No objects detected Detection preview by DN_Medium_300_yolov8m_20t7_new gun Detection preview by Segmentatation_v8_medium_train_250 gun Detection preview by Segmentation_V11_large_300_train_300 gun Detection preview by Segmentation_v8_large_300_train_300
Original Image: P01368.jpg
GT: gun
gun Detection preview by Box_v11_medium_train_SIXray_OPIXray No objects detected Detection preview by DN_Medium_300_yolov8m_20t7_new gun Detection preview by Segmentatation_v8_medium_train_250 gun Detection preview by Segmentation_V11_large_300_train_300 gun Detection preview by Segmentation_v8_large_300_train_300
Original Image: P01369.jpg
GT: gun
gun Detection preview by Box_v11_medium_train_SIXray_OPIXray No objects detected Detection preview by DN_Medium_300_yolov8m_20t7_new gun Detection preview by Segmentatation_v8_medium_train_250 gun Detection preview by Segmentation_V11_large_300_train_300 gun Detection preview by Segmentation_v8_large_300_train_300
Original Image: P01370.jpg
GT: gun
gun Detection preview by Box_v11_medium_train_SIXray_OPIXray No objects detected Detection preview by DN_Medium_300_yolov8m_20t7_new gun Detection preview by Segmentatation_v8_medium_train_250 gun Detection preview by Segmentation_V11_large_300_train_300 gun Detection preview by Segmentation_v8_large_300_train_300
Original Image: P01371.jpg
GT: gun
gun Detection preview by Box_v11_medium_train_SIXray_OPIXray No objects detected Detection preview by DN_Medium_300_yolov8m_20t7_new gun Detection preview by Segmentatation_v8_medium_train_250 gun Detection preview by Segmentation_V11_large_300_train_300 gun Detection preview by Segmentation_v8_large_300_train_300
Original Image: P01372.jpg
GT: gun, pliers, scissors
gun, pliers, scissor Detection preview by Box_v11_medium_train_SIXray_OPIXray gun Detection preview by DN_Medium_300_yolov8m_20t7_new gun, scissor Detection preview by Segmentatation_v8_medium_train_250 gun, scissor Detection preview by Segmentation_V11_large_300_train_300 gun, scissor Detection preview by Segmentation_v8_large_300_train_300
Original Image: P01373.jpg
GT: gun, pliers, scissors
gun, pliers, scissor Detection preview by Box_v11_medium_train_SIXray_OPIXray scissor Detection preview by DN_Medium_300_yolov8m_20t7_new gun, scissor Detection preview by Segmentatation_v8_medium_train_250 gun, scissor Detection preview by Segmentation_V11_large_300_train_300 gun, scissor Detection preview by Segmentation_v8_large_300_train_300
Original Image: P01374.jpg
GT: gun, pliers, scissors
gun, pliers, scissor Detection preview by Box_v11_medium_train_SIXray_OPIXray No objects detected Detection preview by DN_Medium_300_yolov8m_20t7_new gun, scissor Detection preview by Segmentatation_v8_medium_train_250 gun, scissor Detection preview by Segmentation_V11_large_300_train_300 gun, scissor Detection preview by Segmentation_v8_large_300_train_300
Original Image: P01375.jpg
GT: gun, pliers, scissors
gun, pliers, scissor Detection preview by Box_v11_medium_train_SIXray_OPIXray scissor Detection preview by DN_Medium_300_yolov8m_20t7_new gun, scissor Detection preview by Segmentatation_v8_medium_train_250 gun, scissor Detection preview by Segmentation_V11_large_300_train_300 gun, scissor Detection preview by Segmentation_v8_large_300_train_300
Original Image: P01376.jpg
GT: gun, pliers, scissors
gun, pliers, scissor Detection preview by Box_v11_medium_train_SIXray_OPIXray No objects detected Detection preview by DN_Medium_300_yolov8m_20t7_new gun, scissor Detection preview by Segmentatation_v8_medium_train_250 gun, scissor Detection preview by Segmentation_V11_large_300_train_300 gun, scissor Detection preview by Segmentation_v8_large_300_train_300
Original Image: P01377.jpg
GT: gun, pliers, scissors
gun, pliers, scissor Detection preview by Box_v11_medium_train_SIXray_OPIXray knife Detection preview by DN_Medium_300_yolov8m_20t7_new gun, scissor Detection preview by Segmentatation_v8_medium_train_250 gun, scissor Detection preview by Segmentation_V11_large_300_train_300 gun, scissor Detection preview by Segmentation_v8_large_300_train_300
Original Image: P01378.jpg
GT: gun, pliers, scissors
gun, pliers, scissor Detection preview by Box_v11_medium_train_SIXray_OPIXray No objects detected Detection preview by DN_Medium_300_yolov8m_20t7_new gun, scissor Detection preview by Segmentatation_v8_medium_train_250 gun, scissor Detection preview by Segmentation_V11_large_300_train_300 gun, scissor Detection preview by Segmentation_v8_large_300_train_300
Original Image: P01379.jpg
GT: gun, pliers, scissors
gun, pliers, scissor Detection preview by Box_v11_medium_train_SIXray_OPIXray No objects detected Detection preview by DN_Medium_300_yolov8m_20t7_new gun, scissor Detection preview by Segmentatation_v8_medium_train_250 gun, scissor Detection preview by Segmentation_V11_large_300_train_300 gun, scissor Detection preview by Segmentation_v8_large_300_train_300
Original Image: P01380.jpg
GT: gun, pliers, scissors
gun, pliers, scissor Detection preview by Box_v11_medium_train_SIXray_OPIXray No objects detected Detection preview by DN_Medium_300_yolov8m_20t7_new gun, scissor Detection preview by Segmentatation_v8_medium_train_250 gun, scissor Detection preview by Segmentation_V11_large_300_train_300 gun, scissor Detection preview by Segmentation_v8_large_300_train_300
Original Image: P01381.jpg
GT: gun, pliers, scissors
gun, pliers, scissor Detection preview by Box_v11_medium_train_SIXray_OPIXray gun Detection preview by DN_Medium_300_yolov8m_20t7_new gun, scissor Detection preview by Segmentatation_v8_medium_train_250 gun, scissor Detection preview by Segmentation_V11_large_300_train_300 gun, scissor Detection preview by Segmentation_v8_large_300_train_300
Original Image: P01382.jpg
GT: gun, pliers, scissors
gun, pliers, scissor Detection preview by Box_v11_medium_train_SIXray_OPIXray gun Detection preview by DN_Medium_300_yolov8m_20t7_new gun, scissor Detection preview by Segmentatation_v8_medium_train_250 gun, scissor Detection preview by Segmentation_V11_large_300_train_300 gun, scissor Detection preview by Segmentation_v8_large_300_train_300
Original Image: P01383.jpg
GT: gun, pliers, scissors
gun, pliers, scissor Detection preview by Box_v11_medium_train_SIXray_OPIXray gun Detection preview by DN_Medium_300_yolov8m_20t7_new gun, scissor Detection preview by Segmentatation_v8_medium_train_250 gun, scissor Detection preview by Segmentation_V11_large_300_train_300 gun, scissor Detection preview by Segmentation_v8_large_300_train_300
Original Image: P01384.jpg
GT: gun, pliers, scissors
gun, pliers, scissor Detection preview by Box_v11_medium_train_SIXray_OPIXray scissor Detection preview by DN_Medium_300_yolov8m_20t7_new gun, scissor Detection preview by Segmentatation_v8_medium_train_250 gun, scissor Detection preview by Segmentation_V11_large_300_train_300 gun, scissor Detection preview by Segmentation_v8_large_300_train_300
Original Image: P01385.jpg
GT: gun, pliers, scissors
gun, pliers, scissor Detection preview by Box_v11_medium_train_SIXray_OPIXray No objects detected Detection preview by DN_Medium_300_yolov8m_20t7_new gun, scissor Detection preview by Segmentatation_v8_medium_train_250 gun, scissor Detection preview by Segmentation_V11_large_300_train_300 gun, scissor Detection preview by Segmentation_v8_large_300_train_300
Original Image: P01386.jpg
GT: gun
gun Detection preview by Box_v11_medium_train_SIXray_OPIXray No objects detected Detection preview by DN_Medium_300_yolov8m_20t7_new gun Detection preview by Segmentatation_v8_medium_train_250 gun Detection preview by Segmentation_V11_large_300_train_300 gun Detection preview by Segmentation_v8_large_300_train_300
Original Image: P01387.jpg
GT: gun
gun Detection preview by Box_v11_medium_train_SIXray_OPIXray No objects detected Detection preview by DN_Medium_300_yolov8m_20t7_new gun Detection preview by Segmentatation_v8_medium_train_250 gun Detection preview by Segmentation_V11_large_300_train_300 gun Detection preview by Segmentation_v8_large_300_train_300
Original Image: P01388.jpg
GT: gun, pliers
gun, pliers Detection preview by Box_v11_medium_train_SIXray_OPIXray gun, pliers Detection preview by DN_Medium_300_yolov8m_20t7_new gun Detection preview by Segmentatation_v8_medium_train_250 gun Detection preview by Segmentation_V11_large_300_train_300 gun Detection preview by Segmentation_v8_large_300_train_300
Original Image: P01389.jpg
GT: gun, pliers
gun, pliers Detection preview by Box_v11_medium_train_SIXray_OPIXray pliers Detection preview by DN_Medium_300_yolov8m_20t7_new gun Detection preview by Segmentatation_v8_medium_train_250 gun Detection preview by Segmentation_V11_large_300_train_300 gun Detection preview by Segmentation_v8_large_300_train_300
Original Image: P01390.jpg
GT: gun
gun Detection preview by Box_v11_medium_train_SIXray_OPIXray No objects detected Detection preview by DN_Medium_300_yolov8m_20t7_new gun Detection preview by Segmentatation_v8_medium_train_250 gun Detection preview by Segmentation_V11_large_300_train_300 gun Detection preview by Segmentation_v8_large_300_train_300
Original Image: P01391.jpg
GT: gun
gun Detection preview by Box_v11_medium_train_SIXray_OPIXray No objects detected Detection preview by DN_Medium_300_yolov8m_20t7_new gun Detection preview by Segmentatation_v8_medium_train_250 gun Detection preview by Segmentation_V11_large_300_train_300 gun Detection preview by Segmentation_v8_large_300_train_300
Original Image: P01392.jpg
GT: gun
gun Detection preview by Box_v11_medium_train_SIXray_OPIXray gun Detection preview by DN_Medium_300_yolov8m_20t7_new gun Detection preview by Segmentatation_v8_medium_train_250 gun Detection preview by Segmentation_V11_large_300_train_300 gun Detection preview by Segmentation_v8_large_300_train_300
Original Image: P01393.jpg
GT: gun
gun Detection preview by Box_v11_medium_train_SIXray_OPIXray gun Detection preview by DN_Medium_300_yolov8m_20t7_new gun Detection preview by Segmentatation_v8_medium_train_250 gun Detection preview by Segmentation_V11_large_300_train_300 gun Detection preview by Segmentation_v8_large_300_train_300
Original Image: P01394.jpg
GT: gun
gun Detection preview by Box_v11_medium_train_SIXray_OPIXray No objects detected Detection preview by DN_Medium_300_yolov8m_20t7_new gun Detection preview by Segmentatation_v8_medium_train_250 gun Detection preview by Segmentation_V11_large_300_train_300 gun Detection preview by Segmentation_v8_large_300_train_300
Original Image: P01395.jpg
GT: gun
gun Detection preview by Box_v11_medium_train_SIXray_OPIXray No objects detected Detection preview by DN_Medium_300_yolov8m_20t7_new gun Detection preview by Segmentatation_v8_medium_train_250 gun Detection preview by Segmentation_V11_large_300_train_300 gun Detection preview by Segmentation_v8_large_300_train_300
Original Image: P01396.jpg
GT: gun
gun Detection preview by Box_v11_medium_train_SIXray_OPIXray No objects detected Detection preview by DN_Medium_300_yolov8m_20t7_new gun Detection preview by Segmentatation_v8_medium_train_250 gun Detection preview by Segmentation_V11_large_300_train_300 gun Detection preview by Segmentation_v8_large_300_train_300
Original Image: P01397.jpg
GT: gun
gun Detection preview by Box_v11_medium_train_SIXray_OPIXray No objects detected Detection preview by DN_Medium_300_yolov8m_20t7_new gun Detection preview by Segmentatation_v8_medium_train_250 gun Detection preview by Segmentation_V11_large_300_train_300 gun Detection preview by Segmentation_v8_large_300_train_300
Original Image: P01398.jpg
GT: gun
gun Detection preview by Box_v11_medium_train_SIXray_OPIXray No objects detected Detection preview by DN_Medium_300_yolov8m_20t7_new gun Detection preview by Segmentatation_v8_medium_train_250 gun Detection preview by Segmentation_V11_large_300_train_300 gun Detection preview by Segmentation_v8_large_300_train_300
Original Image: P01399.jpg
GT: gun
gun Detection preview by Box_v11_medium_train_SIXray_OPIXray gun Detection preview by DN_Medium_300_yolov8m_20t7_new gun Detection preview by Segmentatation_v8_medium_train_250 gun Detection preview by Segmentation_V11_large_300_train_300 gun Detection preview by Segmentation_v8_large_300_train_300
Original Image: P01400.jpg
GT: gun
gun Detection preview by Box_v11_medium_train_SIXray_OPIXray No objects detected Detection preview by DN_Medium_300_yolov8m_20t7_new gun Detection preview by Segmentatation_v8_medium_train_250 gun Detection preview by Segmentation_V11_large_300_train_300 gun Detection preview by Segmentation_v8_large_300_train_300
Original Image: P01401.jpg
GT: gun
gun Detection preview by Box_v11_medium_train_SIXray_OPIXray No objects detected Detection preview by DN_Medium_300_yolov8m_20t7_new gun Detection preview by Segmentatation_v8_medium_train_250 gun Detection preview by Segmentation_V11_large_300_train_300 gun Detection preview by Segmentation_v8_large_300_train_300
Original Image: P01402.jpg
GT: gun
gun Detection preview by Box_v11_medium_train_SIXray_OPIXray No objects detected Detection preview by DN_Medium_300_yolov8m_20t7_new gun Detection preview by Segmentatation_v8_medium_train_250 gun Detection preview by Segmentation_V11_large_300_train_300 gun Detection preview by Segmentation_v8_large_300_train_300
Original Image: P01403.jpg
GT: gun
gun Detection preview by Box_v11_medium_train_SIXray_OPIXray gun Detection preview by DN_Medium_300_yolov8m_20t7_new gun Detection preview by Segmentatation_v8_medium_train_250 gun Detection preview by Segmentation_V11_large_300_train_300 gun Detection preview by Segmentation_v8_large_300_train_300
Original Image: P01404.jpg
GT: gun
gun Detection preview by Box_v11_medium_train_SIXray_OPIXray No objects detected Detection preview by DN_Medium_300_yolov8m_20t7_new gun Detection preview by Segmentatation_v8_medium_train_250 gun Detection preview by Segmentation_V11_large_300_train_300 gun Detection preview by Segmentation_v8_large_300_train_300
Original Image: P01405.jpg
GT: gun
gun Detection preview by Box_v11_medium_train_SIXray_OPIXray gun Detection preview by DN_Medium_300_yolov8m_20t7_new gun Detection preview by Segmentatation_v8_medium_train_250 gun Detection preview by Segmentation_V11_large_300_train_300 gun Detection preview by Segmentation_v8_large_300_train_300
Original Image: P01406.jpg
GT: gun
gun Detection preview by Box_v11_medium_train_SIXray_OPIXray gun Detection preview by DN_Medium_300_yolov8m_20t7_new gun Detection preview by Segmentatation_v8_medium_train_250 gun Detection preview by Segmentation_V11_large_300_train_300 gun Detection preview by Segmentation_v8_large_300_train_300
Original Image: P01407.jpg
GT: gun
gun Detection preview by Box_v11_medium_train_SIXray_OPIXray No objects detected Detection preview by DN_Medium_300_yolov8m_20t7_new gun Detection preview by Segmentatation_v8_medium_train_250 gun Detection preview by Segmentation_V11_large_300_train_300 gun Detection preview by Segmentation_v8_large_300_train_300
Original Image: P01408.jpg
GT: gun
gun Detection preview by Box_v11_medium_train_SIXray_OPIXray No objects detected Detection preview by DN_Medium_300_yolov8m_20t7_new gun Detection preview by Segmentatation_v8_medium_train_250 gun Detection preview by Segmentation_V11_large_300_train_300 gun Detection preview by Segmentation_v8_large_300_train_300
Original Image: P01409.jpg
GT: gun
gun Detection preview by Box_v11_medium_train_SIXray_OPIXray No objects detected Detection preview by DN_Medium_300_yolov8m_20t7_new gun Detection preview by Segmentatation_v8_medium_train_250 gun Detection preview by Segmentation_V11_large_300_train_300 gun Detection preview by Segmentation_v8_large_300_train_300
Original Image: P01410.jpg
GT: gun
gun Detection preview by Box_v11_medium_train_SIXray_OPIXray No objects detected Detection preview by DN_Medium_300_yolov8m_20t7_new gun Detection preview by Segmentatation_v8_medium_train_250 gun Detection preview by Segmentation_V11_large_300_train_300 gun Detection preview by Segmentation_v8_large_300_train_300
Original Image: P01411.jpg
GT: gun
gun Detection preview by Box_v11_medium_train_SIXray_OPIXray No objects detected Detection preview by DN_Medium_300_yolov8m_20t7_new gun Detection preview by Segmentatation_v8_medium_train_250 gun Detection preview by Segmentation_V11_large_300_train_300 gun Detection preview by Segmentation_v8_large_300_train_300
Original Image: P01412.jpg
GT: gun
gun Detection preview by Box_v11_medium_train_SIXray_OPIXray No objects detected Detection preview by DN_Medium_300_yolov8m_20t7_new gun Detection preview by Segmentatation_v8_medium_train_250 gun Detection preview by Segmentation_V11_large_300_train_300 gun Detection preview by Segmentation_v8_large_300_train_300
Original Image: P01413.jpg
GT: gun
gun Detection preview by Box_v11_medium_train_SIXray_OPIXray gun Detection preview by DN_Medium_300_yolov8m_20t7_new gun Detection preview by Segmentatation_v8_medium_train_250 gun Detection preview by Segmentation_V11_large_300_train_300 gun Detection preview by Segmentation_v8_large_300_train_300
Original Image: P01414.jpg
GT: gun
gun Detection preview by Box_v11_medium_train_SIXray_OPIXray gun Detection preview by DN_Medium_300_yolov8m_20t7_new gun Detection preview by Segmentatation_v8_medium_train_250 gun Detection preview by Segmentation_V11_large_300_train_300 gun Detection preview by Segmentation_v8_large_300_train_300
Original Image: P01415.jpg
GT: gun
gun Detection preview by Box_v11_medium_train_SIXray_OPIXray No objects detected Detection preview by DN_Medium_300_yolov8m_20t7_new gun Detection preview by Segmentatation_v8_medium_train_250 gun Detection preview by Segmentation_V11_large_300_train_300 gun Detection preview by Segmentation_v8_large_300_train_300
Original Image: P01416.jpg
GT: gun
gun Detection preview by Box_v11_medium_train_SIXray_OPIXray gun Detection preview by DN_Medium_300_yolov8m_20t7_new gun Detection preview by Segmentatation_v8_medium_train_250 gun Detection preview by Segmentation_V11_large_300_train_300 gun Detection preview by Segmentation_v8_large_300_train_300
Original Image: P01417.jpg
GT: gun
gun Detection preview by Box_v11_medium_train_SIXray_OPIXray gun Detection preview by DN_Medium_300_yolov8m_20t7_new gun Detection preview by Segmentatation_v8_medium_train_250 gun Detection preview by Segmentation_V11_large_300_train_300 gun Detection preview by Segmentation_v8_large_300_train_300
Original Image: P01418.jpg
GT: gun
gun Detection preview by Box_v11_medium_train_SIXray_OPIXray gun Detection preview by DN_Medium_300_yolov8m_20t7_new gun Detection preview by Segmentatation_v8_medium_train_250 gun Detection preview by Segmentation_V11_large_300_train_300 gun Detection preview by Segmentation_v8_large_300_train_300
Original Image: P01419.jpg
GT: gun
gun Detection preview by Box_v11_medium_train_SIXray_OPIXray gun Detection preview by DN_Medium_300_yolov8m_20t7_new gun Detection preview by Segmentatation_v8_medium_train_250 gun Detection preview by Segmentation_V11_large_300_train_300 gun Detection preview by Segmentation_v8_large_300_train_300
Original Image: P01420.jpg
GT: gun
gun Detection preview by Box_v11_medium_train_SIXray_OPIXray gun Detection preview by DN_Medium_300_yolov8m_20t7_new gun Detection preview by Segmentatation_v8_medium_train_250 gun Detection preview by Segmentation_V11_large_300_train_300 gun Detection preview by Segmentation_v8_large_300_train_300
Original Image: P01421.jpg
GT: gun
gun Detection preview by Box_v11_medium_train_SIXray_OPIXray gun Detection preview by DN_Medium_300_yolov8m_20t7_new gun Detection preview by Segmentatation_v8_medium_train_250 gun Detection preview by Segmentation_V11_large_300_train_300 gun Detection preview by Segmentation_v8_large_300_train_300
Original Image: P01422.jpg
GT: gun
gun Detection preview by Box_v11_medium_train_SIXray_OPIXray No objects detected Detection preview by DN_Medium_300_yolov8m_20t7_new gun Detection preview by Segmentatation_v8_medium_train_250 gun Detection preview by Segmentation_V11_large_300_train_300 gun Detection preview by Segmentation_v8_large_300_train_300
Original Image: P01423.jpg
GT: gun
gun Detection preview by Box_v11_medium_train_SIXray_OPIXray No objects detected Detection preview by DN_Medium_300_yolov8m_20t7_new gun Detection preview by Segmentatation_v8_medium_train_250 gun Detection preview by Segmentation_V11_large_300_train_300 gun Detection preview by Segmentation_v8_large_300_train_300
Original Image: P01424.jpg
GT: gun
gun Detection preview by Box_v11_medium_train_SIXray_OPIXray No objects detected Detection preview by DN_Medium_300_yolov8m_20t7_new gun Detection preview by Segmentatation_v8_medium_train_250 gun Detection preview by Segmentation_V11_large_300_train_300 gun Detection preview by Segmentation_v8_large_300_train_300
Original Image: P01425.jpg
GT: gun
gun Detection preview by Box_v11_medium_train_SIXray_OPIXray No objects detected Detection preview by DN_Medium_300_yolov8m_20t7_new gun Detection preview by Segmentatation_v8_medium_train_250 gun Detection preview by Segmentation_V11_large_300_train_300 gun Detection preview by Segmentation_v8_large_300_train_300
Original Image: P01426.jpg
GT: gun
gun Detection preview by Box_v11_medium_train_SIXray_OPIXray gun Detection preview by DN_Medium_300_yolov8m_20t7_new gun Detection preview by Segmentatation_v8_medium_train_250 gun Detection preview by Segmentation_V11_large_300_train_300 gun Detection preview by Segmentation_v8_large_300_train_300
Original Image: P01427.jpg
GT: gun
gun Detection preview by Box_v11_medium_train_SIXray_OPIXray No objects detected Detection preview by DN_Medium_300_yolov8m_20t7_new gun Detection preview by Segmentatation_v8_medium_train_250 gun Detection preview by Segmentation_V11_large_300_train_300 gun Detection preview by Segmentation_v8_large_300_train_300
Original Image: P01428.jpg
GT: gun
gun Detection preview by Box_v11_medium_train_SIXray_OPIXray No objects detected Detection preview by DN_Medium_300_yolov8m_20t7_new gun Detection preview by Segmentatation_v8_medium_train_250 gun Detection preview by Segmentation_V11_large_300_train_300 gun Detection preview by Segmentation_v8_large_300_train_300
Original Image: P01429.jpg
GT: gun
gun Detection preview by Box_v11_medium_train_SIXray_OPIXray gun Detection preview by DN_Medium_300_yolov8m_20t7_new gun Detection preview by Segmentatation_v8_medium_train_250 gun Detection preview by Segmentation_V11_large_300_train_300 gun Detection preview by Segmentation_v8_large_300_train_300
Original Image: P01430.jpg
GT: gun
gun Detection preview by Box_v11_medium_train_SIXray_OPIXray gun Detection preview by DN_Medium_300_yolov8m_20t7_new gun Detection preview by Segmentatation_v8_medium_train_250 gun Detection preview by Segmentation_V11_large_300_train_300 gun Detection preview by Segmentation_v8_large_300_train_300
Original Image: P01431.jpg
GT: gun
gun Detection preview by Box_v11_medium_train_SIXray_OPIXray gun Detection preview by DN_Medium_300_yolov8m_20t7_new gun Detection preview by Segmentatation_v8_medium_train_250 gun Detection preview by Segmentation_V11_large_300_train_300 gun Detection preview by Segmentation_v8_large_300_train_300
Original Image: P01432.jpg
GT: gun
gun Detection preview by Box_v11_medium_train_SIXray_OPIXray gun Detection preview by DN_Medium_300_yolov8m_20t7_new gun Detection preview by Segmentatation_v8_medium_train_250 gun Detection preview by Segmentation_V11_large_300_train_300 gun Detection preview by Segmentation_v8_large_300_train_300
Original Image: P01433.jpg
GT: gun
gun Detection preview by Box_v11_medium_train_SIXray_OPIXray gun Detection preview by DN_Medium_300_yolov8m_20t7_new gun Detection preview by Segmentatation_v8_medium_train_250 gun Detection preview by Segmentation_V11_large_300_train_300 gun Detection preview by Segmentation_v8_large_300_train_300
Original Image: P01434.jpg
GT: gun
gun Detection preview by Box_v11_medium_train_SIXray_OPIXray gun Detection preview by DN_Medium_300_yolov8m_20t7_new gun Detection preview by Segmentatation_v8_medium_train_250 gun Detection preview by Segmentation_V11_large_300_train_300 gun Detection preview by Segmentation_v8_large_300_train_300
Original Image: P01435.jpg
GT: gun
gun Detection preview by Box_v11_medium_train_SIXray_OPIXray gun Detection preview by DN_Medium_300_yolov8m_20t7_new gun Detection preview by Segmentatation_v8_medium_train_250 gun Detection preview by Segmentation_V11_large_300_train_300 gun Detection preview by Segmentation_v8_large_300_train_300
Original Image: P01436.jpg
GT: gun
gun Detection preview by Box_v11_medium_train_SIXray_OPIXray gun Detection preview by DN_Medium_300_yolov8m_20t7_new gun Detection preview by Segmentatation_v8_medium_train_250 gun Detection preview by Segmentation_V11_large_300_train_300 gun Detection preview by Segmentation_v8_large_300_train_300
Original Image: P01437.jpg
GT: gun
gun Detection preview by Box_v11_medium_train_SIXray_OPIXray No objects detected Detection preview by DN_Medium_300_yolov8m_20t7_new gun Detection preview by Segmentatation_v8_medium_train_250 gun Detection preview by Segmentation_V11_large_300_train_300 gun Detection preview by Segmentation_v8_large_300_train_300
Original Image: P01438.jpg
GT: gun
gun Detection preview by Box_v11_medium_train_SIXray_OPIXray No objects detected Detection preview by DN_Medium_300_yolov8m_20t7_new gun Detection preview by Segmentatation_v8_medium_train_250 gun Detection preview by Segmentation_V11_large_300_train_300 gun Detection preview by Segmentation_v8_large_300_train_300
Original Image: P01439.jpg
GT: gun
gun Detection preview by Box_v11_medium_train_SIXray_OPIXray No objects detected Detection preview by DN_Medium_300_yolov8m_20t7_new gun Detection preview by Segmentatation_v8_medium_train_250 gun Detection preview by Segmentation_V11_large_300_train_300 gun Detection preview by Segmentation_v8_large_300_train_300
Original Image: P01440.jpg
GT: gun
gun Detection preview by Box_v11_medium_train_SIXray_OPIXray No objects detected Detection preview by DN_Medium_300_yolov8m_20t7_new gun Detection preview by Segmentatation_v8_medium_train_250 gun Detection preview by Segmentation_V11_large_300_train_300 gun Detection preview by Segmentation_v8_large_300_train_300
Original Image: P01441.jpg
GT: gun
gun Detection preview by Box_v11_medium_train_SIXray_OPIXray No objects detected Detection preview by DN_Medium_300_yolov8m_20t7_new gun Detection preview by Segmentatation_v8_medium_train_250 gun Detection preview by Segmentation_V11_large_300_train_300 gun Detection preview by Segmentation_v8_large_300_train_300
Original Image: P01442.jpg
GT: gun
gun Detection preview by Box_v11_medium_train_SIXray_OPIXray No objects detected Detection preview by DN_Medium_300_yolov8m_20t7_new gun Detection preview by Segmentatation_v8_medium_train_250 gun Detection preview by Segmentation_V11_large_300_train_300 gun Detection preview by Segmentation_v8_large_300_train_300
Original Image: P01443.jpg
GT: gun
gun Detection preview by Box_v11_medium_train_SIXray_OPIXray gun Detection preview by DN_Medium_300_yolov8m_20t7_new gun Detection preview by Segmentatation_v8_medium_train_250 gun Detection preview by Segmentation_V11_large_300_train_300 gun Detection preview by Segmentation_v8_large_300_train_300
Original Image: P01444.jpg
GT: gun
gun Detection preview by Box_v11_medium_train_SIXray_OPIXray gun Detection preview by DN_Medium_300_yolov8m_20t7_new gun Detection preview by Segmentatation_v8_medium_train_250 gun Detection preview by Segmentation_V11_large_300_train_300 gun Detection preview by Segmentation_v8_large_300_train_300
Original Image: P01445.jpg
GT: gun
gun Detection preview by Box_v11_medium_train_SIXray_OPIXray No objects detected Detection preview by DN_Medium_300_yolov8m_20t7_new gun Detection preview by Segmentatation_v8_medium_train_250 gun Detection preview by Segmentation_V11_large_300_train_300 gun Detection preview by Segmentation_v8_large_300_train_300
Original Image: P01446.jpg
GT: gun
gun Detection preview by Box_v11_medium_train_SIXray_OPIXray No objects detected Detection preview by DN_Medium_300_yolov8m_20t7_new gun Detection preview by Segmentatation_v8_medium_train_250 gun Detection preview by Segmentation_V11_large_300_train_300 gun Detection preview by Segmentation_v8_large_300_train_300
Original Image: P01447.jpg
GT: gun
gun Detection preview by Box_v11_medium_train_SIXray_OPIXray No objects detected Detection preview by DN_Medium_300_yolov8m_20t7_new gun Detection preview by Segmentatation_v8_medium_train_250 gun Detection preview by Segmentation_V11_large_300_train_300 gun Detection preview by Segmentation_v8_large_300_train_300
Original Image: P01448.jpg
GT: gun
gun Detection preview by Box_v11_medium_train_SIXray_OPIXray No objects detected Detection preview by DN_Medium_300_yolov8m_20t7_new gun Detection preview by Segmentatation_v8_medium_train_250 gun Detection preview by Segmentation_V11_large_300_train_300 gun Detection preview by Segmentation_v8_large_300_train_300
Original Image: P01449.jpg
GT: gun
gun Detection preview by Box_v11_medium_train_SIXray_OPIXray No objects detected Detection preview by DN_Medium_300_yolov8m_20t7_new gun Detection preview by Segmentatation_v8_medium_train_250 gun Detection preview by Segmentation_V11_large_300_train_300 gun Detection preview by Segmentation_v8_large_300_train_300
Original Image: P01450.jpg
GT: gun
gun Detection preview by Box_v11_medium_train_SIXray_OPIXray No objects detected Detection preview by DN_Medium_300_yolov8m_20t7_new gun Detection preview by Segmentatation_v8_medium_train_250 gun Detection preview by Segmentation_V11_large_300_train_300 gun Detection preview by Segmentation_v8_large_300_train_300
Original Image: P01451.jpg
GT: gun
gun Detection preview by Box_v11_medium_train_SIXray_OPIXray gun Detection preview by DN_Medium_300_yolov8m_20t7_new gun Detection preview by Segmentatation_v8_medium_train_250 gun Detection preview by Segmentation_V11_large_300_train_300 gun Detection preview by Segmentation_v8_large_300_train_300
Original Image: P01452.jpg
GT: gun
gun Detection preview by Box_v11_medium_train_SIXray_OPIXray gun Detection preview by DN_Medium_300_yolov8m_20t7_new gun Detection preview by Segmentatation_v8_medium_train_250 gun Detection preview by Segmentation_V11_large_300_train_300 gun Detection preview by Segmentation_v8_large_300_train_300
Original Image: P01453.jpg
GT: gun
gun Detection preview by Box_v11_medium_train_SIXray_OPIXray gun Detection preview by DN_Medium_300_yolov8m_20t7_new gun Detection preview by Segmentatation_v8_medium_train_250 gun Detection preview by Segmentation_V11_large_300_train_300 gun Detection preview by Segmentation_v8_large_300_train_300
Original Image: P01454.jpg
GT: gun
gun Detection preview by Box_v11_medium_train_SIXray_OPIXray gun Detection preview by DN_Medium_300_yolov8m_20t7_new gun Detection preview by Segmentatation_v8_medium_train_250 gun Detection preview by Segmentation_V11_large_300_train_300 gun Detection preview by Segmentation_v8_large_300_train_300
Original Image: P01455.jpg
GT: gun
gun Detection preview by Box_v11_medium_train_SIXray_OPIXray gun Detection preview by DN_Medium_300_yolov8m_20t7_new gun Detection preview by Segmentatation_v8_medium_train_250 gun Detection preview by Segmentation_V11_large_300_train_300 gun Detection preview by Segmentation_v8_large_300_train_300
Original Image: P01456.jpg
GT: gun
gun Detection preview by Box_v11_medium_train_SIXray_OPIXray gun Detection preview by DN_Medium_300_yolov8m_20t7_new gun Detection preview by Segmentatation_v8_medium_train_250 gun Detection preview by Segmentation_V11_large_300_train_300 gun Detection preview by Segmentation_v8_large_300_train_300
Original Image: P01457.jpg
GT: gun
gun Detection preview by Box_v11_medium_train_SIXray_OPIXray gun Detection preview by DN_Medium_300_yolov8m_20t7_new gun Detection preview by Segmentatation_v8_medium_train_250 gun Detection preview by Segmentation_V11_large_300_train_300 gun Detection preview by Segmentation_v8_large_300_train_300
Original Image: P01458.jpg
GT: gun
gun Detection preview by Box_v11_medium_train_SIXray_OPIXray gun Detection preview by DN_Medium_300_yolov8m_20t7_new gun Detection preview by Segmentatation_v8_medium_train_250 gun Detection preview by Segmentation_V11_large_300_train_300 gun Detection preview by Segmentation_v8_large_300_train_300
Original Image: P01459.jpg
GT: gun
gun Detection preview by Box_v11_medium_train_SIXray_OPIXray No objects detected Detection preview by DN_Medium_300_yolov8m_20t7_new gun Detection preview by Segmentatation_v8_medium_train_250 gun Detection preview by Segmentation_V11_large_300_train_300 gun Detection preview by Segmentation_v8_large_300_train_300
Original Image: P01460.jpg
GT: gun
gun Detection preview by Box_v11_medium_train_SIXray_OPIXray gun Detection preview by DN_Medium_300_yolov8m_20t7_new gun Detection preview by Segmentatation_v8_medium_train_250 gun Detection preview by Segmentation_V11_large_300_train_300 gun Detection preview by Segmentation_v8_large_300_train_300
Original Image: P01461.jpg
GT: gun
gun Detection preview by Box_v11_medium_train_SIXray_OPIXray gun Detection preview by DN_Medium_300_yolov8m_20t7_new gun Detection preview by Segmentatation_v8_medium_train_250 gun Detection preview by Segmentation_V11_large_300_train_300 gun Detection preview by Segmentation_v8_large_300_train_300
Original Image: P01462.jpg
GT: gun
gun Detection preview by Box_v11_medium_train_SIXray_OPIXray gun Detection preview by DN_Medium_300_yolov8m_20t7_new gun Detection preview by Segmentatation_v8_medium_train_250 gun Detection preview by Segmentation_V11_large_300_train_300 gun Detection preview by Segmentation_v8_large_300_train_300
Original Image: P01463.jpg
GT: gun
gun Detection preview by Box_v11_medium_train_SIXray_OPIXray gun Detection preview by DN_Medium_300_yolov8m_20t7_new gun Detection preview by Segmentatation_v8_medium_train_250 gun Detection preview by Segmentation_V11_large_300_train_300 gun Detection preview by Segmentation_v8_large_300_train_300
Original Image: P01464.jpg
GT: gun
gun Detection preview by Box_v11_medium_train_SIXray_OPIXray gun Detection preview by DN_Medium_300_yolov8m_20t7_new gun Detection preview by Segmentatation_v8_medium_train_250 gun Detection preview by Segmentation_V11_large_300_train_300 gun Detection preview by Segmentation_v8_large_300_train_300
Original Image: P01465.jpg
GT: gun
gun Detection preview by Box_v11_medium_train_SIXray_OPIXray No objects detected Detection preview by DN_Medium_300_yolov8m_20t7_new gun Detection preview by Segmentatation_v8_medium_train_250 gun Detection preview by Segmentation_V11_large_300_train_300 gun Detection preview by Segmentation_v8_large_300_train_300
Original Image: P01466.jpg
GT: gun
gun Detection preview by Box_v11_medium_train_SIXray_OPIXray gun Detection preview by DN_Medium_300_yolov8m_20t7_new gun Detection preview by Segmentatation_v8_medium_train_250 gun Detection preview by Segmentation_V11_large_300_train_300 gun Detection preview by Segmentation_v8_large_300_train_300
Original Image: P01467.jpg
GT: gun
gun Detection preview by Box_v11_medium_train_SIXray_OPIXray gun Detection preview by DN_Medium_300_yolov8m_20t7_new gun Detection preview by Segmentatation_v8_medium_train_250 gun Detection preview by Segmentation_V11_large_300_train_300 gun Detection preview by Segmentation_v8_large_300_train_300
Original Image: P01468.jpg
GT: gun
gun Detection preview by Box_v11_medium_train_SIXray_OPIXray gun Detection preview by DN_Medium_300_yolov8m_20t7_new gun Detection preview by Segmentatation_v8_medium_train_250 gun Detection preview by Segmentation_V11_large_300_train_300 gun Detection preview by Segmentation_v8_large_300_train_300
Original Image: P01469.jpg
GT: gun
gun Detection preview by Box_v11_medium_train_SIXray_OPIXray gun Detection preview by DN_Medium_300_yolov8m_20t7_new gun Detection preview by Segmentatation_v8_medium_train_250 gun Detection preview by Segmentation_V11_large_300_train_300 gun Detection preview by Segmentation_v8_large_300_train_300
Original Image: P01470.jpg
GT: gun
gun Detection preview by Box_v11_medium_train_SIXray_OPIXray gun Detection preview by DN_Medium_300_yolov8m_20t7_new gun Detection preview by Segmentatation_v8_medium_train_250 gun Detection preview by Segmentation_V11_large_300_train_300 gun Detection preview by Segmentation_v8_large_300_train_300
Original Image: P01471.jpg
GT: gun
gun Detection preview by Box_v11_medium_train_SIXray_OPIXray No objects detected Detection preview by DN_Medium_300_yolov8m_20t7_new gun Detection preview by Segmentatation_v8_medium_train_250 gun Detection preview by Segmentation_V11_large_300_train_300 gun Detection preview by Segmentation_v8_large_300_train_300
Original Image: P01472.jpg
GT: gun
gun Detection preview by Box_v11_medium_train_SIXray_OPIXray No objects detected Detection preview by DN_Medium_300_yolov8m_20t7_new gun Detection preview by Segmentatation_v8_medium_train_250 gun Detection preview by Segmentation_V11_large_300_train_300 gun Detection preview by Segmentation_v8_large_300_train_300
Original Image: P01473.jpg
GT: gun
gun Detection preview by Box_v11_medium_train_SIXray_OPIXray gun Detection preview by DN_Medium_300_yolov8m_20t7_new gun Detection preview by Segmentatation_v8_medium_train_250 gun Detection preview by Segmentation_V11_large_300_train_300 gun Detection preview by Segmentation_v8_large_300_train_300
Original Image: P01474.jpg
GT: gun
gun Detection preview by Box_v11_medium_train_SIXray_OPIXray gun Detection preview by DN_Medium_300_yolov8m_20t7_new gun Detection preview by Segmentatation_v8_medium_train_250 gun Detection preview by Segmentation_V11_large_300_train_300 gun Detection preview by Segmentation_v8_large_300_train_300
Original Image: P01475.jpg
GT: gun
gun Detection preview by Box_v11_medium_train_SIXray_OPIXray No objects detected Detection preview by DN_Medium_300_yolov8m_20t7_new gun Detection preview by Segmentatation_v8_medium_train_250 gun Detection preview by Segmentation_V11_large_300_train_300 gun Detection preview by Segmentation_v8_large_300_train_300
Original Image: P01476.jpg
GT: gun
gun Detection preview by Box_v11_medium_train_SIXray_OPIXray No objects detected Detection preview by DN_Medium_300_yolov8m_20t7_new gun Detection preview by Segmentatation_v8_medium_train_250 gun Detection preview by Segmentation_V11_large_300_train_300 gun Detection preview by Segmentation_v8_large_300_train_300
Original Image: P01477.jpg
GT: gun
gun Detection preview by Box_v11_medium_train_SIXray_OPIXray No objects detected Detection preview by DN_Medium_300_yolov8m_20t7_new gun Detection preview by Segmentatation_v8_medium_train_250 gun Detection preview by Segmentation_V11_large_300_train_300 gun Detection preview by Segmentation_v8_large_300_train_300
Original Image: P01478.jpg
GT: gun
gun Detection preview by Box_v11_medium_train_SIXray_OPIXray No objects detected Detection preview by DN_Medium_300_yolov8m_20t7_new gun Detection preview by Segmentatation_v8_medium_train_250 gun Detection preview by Segmentation_V11_large_300_train_300 gun Detection preview by Segmentation_v8_large_300_train_300
Original Image: P01479.jpg
GT: gun
gun Detection preview by Box_v11_medium_train_SIXray_OPIXray gun Detection preview by DN_Medium_300_yolov8m_20t7_new gun Detection preview by Segmentatation_v8_medium_train_250 gun Detection preview by Segmentation_V11_large_300_train_300 gun Detection preview by Segmentation_v8_large_300_train_300
Original Image: P01480.jpg
GT: gun
gun Detection preview by Box_v11_medium_train_SIXray_OPIXray No objects detected Detection preview by DN_Medium_300_yolov8m_20t7_new gun Detection preview by Segmentatation_v8_medium_train_250 gun Detection preview by Segmentation_V11_large_300_train_300 gun Detection preview by Segmentation_v8_large_300_train_300
Original Image: P01481.jpg
GT: gun
gun Detection preview by Box_v11_medium_train_SIXray_OPIXray No objects detected Detection preview by DN_Medium_300_yolov8m_20t7_new gun Detection preview by Segmentatation_v8_medium_train_250 gun Detection preview by Segmentation_V11_large_300_train_300 gun Detection preview by Segmentation_v8_large_300_train_300
Original Image: P01482.jpg
GT: gun
gun Detection preview by Box_v11_medium_train_SIXray_OPIXray No objects detected Detection preview by DN_Medium_300_yolov8m_20t7_new gun Detection preview by Segmentatation_v8_medium_train_250 gun Detection preview by Segmentation_V11_large_300_train_300 gun Detection preview by Segmentation_v8_large_300_train_300
Original Image: P01483.jpg
GT: gun
gun Detection preview by Box_v11_medium_train_SIXray_OPIXray No objects detected Detection preview by DN_Medium_300_yolov8m_20t7_new gun Detection preview by Segmentatation_v8_medium_train_250 gun Detection preview by Segmentation_V11_large_300_train_300 gun Detection preview by Segmentation_v8_large_300_train_300
Original Image: P01484.jpg
GT: gun
gun Detection preview by Box_v11_medium_train_SIXray_OPIXray No objects detected Detection preview by DN_Medium_300_yolov8m_20t7_new gun Detection preview by Segmentatation_v8_medium_train_250 gun Detection preview by Segmentation_V11_large_300_train_300 gun Detection preview by Segmentation_v8_large_300_train_300
Original Image: P01485.jpg
GT: gun
gun Detection preview by Box_v11_medium_train_SIXray_OPIXray gun Detection preview by DN_Medium_300_yolov8m_20t7_new gun Detection preview by Segmentatation_v8_medium_train_250 gun Detection preview by Segmentation_V11_large_300_train_300 gun Detection preview by Segmentation_v8_large_300_train_300
Original Image: P01486.jpg
GT: gun
gun Detection preview by Box_v11_medium_train_SIXray_OPIXray No objects detected Detection preview by DN_Medium_300_yolov8m_20t7_new gun Detection preview by Segmentatation_v8_medium_train_250 gun Detection preview by Segmentation_V11_large_300_train_300 gun Detection preview by Segmentation_v8_large_300_train_300
Original Image: P01487.jpg
GT: gun
gun Detection preview by Box_v11_medium_train_SIXray_OPIXray No objects detected Detection preview by DN_Medium_300_yolov8m_20t7_new gun Detection preview by Segmentatation_v8_medium_train_250 gun Detection preview by Segmentation_V11_large_300_train_300 gun Detection preview by Segmentation_v8_large_300_train_300
Original Image: P01488.jpg
GT: gun
gun Detection preview by Box_v11_medium_train_SIXray_OPIXray No objects detected Detection preview by DN_Medium_300_yolov8m_20t7_new gun Detection preview by Segmentatation_v8_medium_train_250 gun Detection preview by Segmentation_V11_large_300_train_300 gun Detection preview by Segmentation_v8_large_300_train_300
Original Image: P01489.jpg
GT: gun
gun Detection preview by Box_v11_medium_train_SIXray_OPIXray No objects detected Detection preview by DN_Medium_300_yolov8m_20t7_new gun Detection preview by Segmentatation_v8_medium_train_250 gun Detection preview by Segmentation_V11_large_300_train_300 gun Detection preview by Segmentation_v8_large_300_train_300
Original Image: P01490.jpg
GT: gun
gun Detection preview by Box_v11_medium_train_SIXray_OPIXray No objects detected Detection preview by DN_Medium_300_yolov8m_20t7_new gun Detection preview by Segmentatation_v8_medium_train_250 gun Detection preview by Segmentation_V11_large_300_train_300 gun Detection preview by Segmentation_v8_large_300_train_300
Original Image: P01491.jpg
GT: gun
gun Detection preview by Box_v11_medium_train_SIXray_OPIXray gun Detection preview by DN_Medium_300_yolov8m_20t7_new gun Detection preview by Segmentatation_v8_medium_train_250 gun Detection preview by Segmentation_V11_large_300_train_300 gun Detection preview by Segmentation_v8_large_300_train_300
Original Image: P01492.jpg
GT: gun
gun Detection preview by Box_v11_medium_train_SIXray_OPIXray No objects detected Detection preview by DN_Medium_300_yolov8m_20t7_new gun Detection preview by Segmentatation_v8_medium_train_250 gun Detection preview by Segmentation_V11_large_300_train_300 gun Detection preview by Segmentation_v8_large_300_train_300
Original Image: P01493.jpg
GT: gun
gun Detection preview by Box_v11_medium_train_SIXray_OPIXray No objects detected Detection preview by DN_Medium_300_yolov8m_20t7_new gun Detection preview by Segmentatation_v8_medium_train_250 gun Detection preview by Segmentation_V11_large_300_train_300 gun Detection preview by Segmentation_v8_large_300_train_300
Original Image: P01494.jpg
GT: gun
gun Detection preview by Box_v11_medium_train_SIXray_OPIXray No objects detected Detection preview by DN_Medium_300_yolov8m_20t7_new gun Detection preview by Segmentatation_v8_medium_train_250 gun Detection preview by Segmentation_V11_large_300_train_300 gun Detection preview by Segmentation_v8_large_300_train_300
Original Image: P01495.jpg
GT: gun
gun Detection preview by Box_v11_medium_train_SIXray_OPIXray No objects detected Detection preview by DN_Medium_300_yolov8m_20t7_new gun Detection preview by Segmentatation_v8_medium_train_250 gun Detection preview by Segmentation_V11_large_300_train_300 gun Detection preview by Segmentation_v8_large_300_train_300
Original Image: P01496.jpg
GT: gun
gun Detection preview by Box_v11_medium_train_SIXray_OPIXray No objects detected Detection preview by DN_Medium_300_yolov8m_20t7_new gun Detection preview by Segmentatation_v8_medium_train_250 gun Detection preview by Segmentation_V11_large_300_train_300 gun Detection preview by Segmentation_v8_large_300_train_300
Original Image: P01497.jpg
GT: gun
gun Detection preview by Box_v11_medium_train_SIXray_OPIXray No objects detected Detection preview by DN_Medium_300_yolov8m_20t7_new gun Detection preview by Segmentatation_v8_medium_train_250 gun Detection preview by Segmentation_V11_large_300_train_300 gun Detection preview by Segmentation_v8_large_300_train_300
Original Image: P01498.jpg
GT: gun
gun Detection preview by Box_v11_medium_train_SIXray_OPIXray gun Detection preview by DN_Medium_300_yolov8m_20t7_new gun Detection preview by Segmentatation_v8_medium_train_250 gun Detection preview by Segmentation_V11_large_300_train_300 gun Detection preview by Segmentation_v8_large_300_train_300
Original Image: P01499.jpg
GT: gun
gun Detection preview by Box_v11_medium_train_SIXray_OPIXray gun Detection preview by DN_Medium_300_yolov8m_20t7_new gun Detection preview by Segmentatation_v8_medium_train_250 gun Detection preview by Segmentation_V11_large_300_train_300 gun Detection preview by Segmentation_v8_large_300_train_300
Original Image: P01500.jpg
GT: gun
gun Detection preview by Box_v11_medium_train_SIXray_OPIXray No objects detected Detection preview by DN_Medium_300_yolov8m_20t7_new gun Detection preview by Segmentatation_v8_medium_train_250 gun Detection preview by Segmentation_V11_large_300_train_300 gun Detection preview by Segmentation_v8_large_300_train_300
Original Image: P01501.jpg
GT: gun
gun Detection preview by Box_v11_medium_train_SIXray_OPIXray gun Detection preview by DN_Medium_300_yolov8m_20t7_new gun Detection preview by Segmentatation_v8_medium_train_250 gun Detection preview by Segmentation_V11_large_300_train_300 gun Detection preview by Segmentation_v8_large_300_train_300
Original Image: P01502.jpg
GT: gun
gun Detection preview by Box_v11_medium_train_SIXray_OPIXray gun Detection preview by DN_Medium_300_yolov8m_20t7_new gun Detection preview by Segmentatation_v8_medium_train_250 gun Detection preview by Segmentation_V11_large_300_train_300 gun Detection preview by Segmentation_v8_large_300_train_300
Original Image: P01503.jpg
GT: gun
gun Detection preview by Box_v11_medium_train_SIXray_OPIXray gun Detection preview by DN_Medium_300_yolov8m_20t7_new gun Detection preview by Segmentatation_v8_medium_train_250 gun Detection preview by Segmentation_V11_large_300_train_300 gun Detection preview by Segmentation_v8_large_300_train_300
Original Image: P01504.jpg
GT: gun
gun Detection preview by Box_v11_medium_train_SIXray_OPIXray gun Detection preview by DN_Medium_300_yolov8m_20t7_new gun Detection preview by Segmentatation_v8_medium_train_250 gun Detection preview by Segmentation_V11_large_300_train_300 gun Detection preview by Segmentation_v8_large_300_train_300
Original Image: P01505.jpg
GT: gun
gun Detection preview by Box_v11_medium_train_SIXray_OPIXray gun Detection preview by DN_Medium_300_yolov8m_20t7_new gun Detection preview by Segmentatation_v8_medium_train_250 gun Detection preview by Segmentation_V11_large_300_train_300 gun Detection preview by Segmentation_v8_large_300_train_300
Original Image: P01506.jpg
GT: gun
gun Detection preview by Box_v11_medium_train_SIXray_OPIXray gun Detection preview by DN_Medium_300_yolov8m_20t7_new gun Detection preview by Segmentatation_v8_medium_train_250 gun Detection preview by Segmentation_V11_large_300_train_300 gun Detection preview by Segmentation_v8_large_300_train_300
Original Image: P01507.jpg
GT: gun
gun Detection preview by Box_v11_medium_train_SIXray_OPIXray No objects detected Detection preview by DN_Medium_300_yolov8m_20t7_new gun Detection preview by Segmentatation_v8_medium_train_250 gun Detection preview by Segmentation_V11_large_300_train_300 gun Detection preview by Segmentation_v8_large_300_train_300
Original Image: P01508.jpg
GT: gun
gun Detection preview by Box_v11_medium_train_SIXray_OPIXray No objects detected Detection preview by DN_Medium_300_yolov8m_20t7_new gun Detection preview by Segmentatation_v8_medium_train_250 gun Detection preview by Segmentation_V11_large_300_train_300 gun Detection preview by Segmentation_v8_large_300_train_300
Original Image: P01509.jpg
GT: gun
gun Detection preview by Box_v11_medium_train_SIXray_OPIXray No objects detected Detection preview by DN_Medium_300_yolov8m_20t7_new gun Detection preview by Segmentatation_v8_medium_train_250 gun Detection preview by Segmentation_V11_large_300_train_300 gun Detection preview by Segmentation_v8_large_300_train_300
Original Image: P01510.jpg
GT: gun
gun Detection preview by Box_v11_medium_train_SIXray_OPIXray No objects detected Detection preview by DN_Medium_300_yolov8m_20t7_new gun Detection preview by Segmentatation_v8_medium_train_250 gun Detection preview by Segmentation_V11_large_300_train_300 gun Detection preview by Segmentation_v8_large_300_train_300
Original Image: P01511.jpg
GT: gun
gun Detection preview by Box_v11_medium_train_SIXray_OPIXray No objects detected Detection preview by DN_Medium_300_yolov8m_20t7_new gun Detection preview by Segmentatation_v8_medium_train_250 gun Detection preview by Segmentation_V11_large_300_train_300 gun Detection preview by Segmentation_v8_large_300_train_300
Original Image: P01512.jpg
GT: gun
gun Detection preview by Box_v11_medium_train_SIXray_OPIXray No objects detected Detection preview by DN_Medium_300_yolov8m_20t7_new gun Detection preview by Segmentatation_v8_medium_train_250 gun Detection preview by Segmentation_V11_large_300_train_300 gun Detection preview by Segmentation_v8_large_300_train_300
Original Image: P01513.jpg
GT: gun
gun Detection preview by Box_v11_medium_train_SIXray_OPIXray No objects detected Detection preview by DN_Medium_300_yolov8m_20t7_new gun Detection preview by Segmentatation_v8_medium_train_250 gun Detection preview by Segmentation_V11_large_300_train_300 gun Detection preview by Segmentation_v8_large_300_train_300
Original Image: P01514.jpg
GT: gun
gun Detection preview by Box_v11_medium_train_SIXray_OPIXray No objects detected Detection preview by DN_Medium_300_yolov8m_20t7_new gun Detection preview by Segmentatation_v8_medium_train_250 gun Detection preview by Segmentation_V11_large_300_train_300 gun Detection preview by Segmentation_v8_large_300_train_300
Original Image: P01515.jpg
GT: gun
gun Detection preview by Box_v11_medium_train_SIXray_OPIXray No objects detected Detection preview by DN_Medium_300_yolov8m_20t7_new gun Detection preview by Segmentatation_v8_medium_train_250 gun Detection preview by Segmentation_V11_large_300_train_300 gun Detection preview by Segmentation_v8_large_300_train_300
Original Image: P01516.jpg
GT: gun
gun Detection preview by Box_v11_medium_train_SIXray_OPIXray No objects detected Detection preview by DN_Medium_300_yolov8m_20t7_new gun Detection preview by Segmentatation_v8_medium_train_250 gun Detection preview by Segmentation_V11_large_300_train_300 gun Detection preview by Segmentation_v8_large_300_train_300
Original Image: P01517.jpg
GT: gun
gun Detection preview by Box_v11_medium_train_SIXray_OPIXray No objects detected Detection preview by DN_Medium_300_yolov8m_20t7_new gun Detection preview by Segmentatation_v8_medium_train_250 gun Detection preview by Segmentation_V11_large_300_train_300 gun Detection preview by Segmentation_v8_large_300_train_300
Original Image: P01518.jpg
GT: gun
gun Detection preview by Box_v11_medium_train_SIXray_OPIXray No objects detected Detection preview by DN_Medium_300_yolov8m_20t7_new gun Detection preview by Segmentatation_v8_medium_train_250 gun Detection preview by Segmentation_V11_large_300_train_300 gun Detection preview by Segmentation_v8_large_300_train_300
Original Image: P01519.jpg
GT: gun
gun Detection preview by Box_v11_medium_train_SIXray_OPIXray No objects detected Detection preview by DN_Medium_300_yolov8m_20t7_new gun Detection preview by Segmentatation_v8_medium_train_250 gun Detection preview by Segmentation_V11_large_300_train_300 gun Detection preview by Segmentation_v8_large_300_train_300
Original Image: P01520.jpg
GT: gun
gun Detection preview by Box_v11_medium_train_SIXray_OPIXray No objects detected Detection preview by DN_Medium_300_yolov8m_20t7_new gun Detection preview by Segmentatation_v8_medium_train_250 gun Detection preview by Segmentation_V11_large_300_train_300 gun Detection preview by Segmentation_v8_large_300_train_300
Original Image: P01521.jpg
GT: gun
gun Detection preview by Box_v11_medium_train_SIXray_OPIXray No objects detected Detection preview by DN_Medium_300_yolov8m_20t7_new gun Detection preview by Segmentatation_v8_medium_train_250 gun Detection preview by Segmentation_V11_large_300_train_300 gun Detection preview by Segmentation_v8_large_300_train_300
Original Image: P01522.jpg
GT: gun
gun Detection preview by Box_v11_medium_train_SIXray_OPIXray No objects detected Detection preview by DN_Medium_300_yolov8m_20t7_new gun Detection preview by Segmentatation_v8_medium_train_250 gun Detection preview by Segmentation_V11_large_300_train_300 gun Detection preview by Segmentation_v8_large_300_train_300
Original Image: P01523.jpg
GT: gun
gun Detection preview by Box_v11_medium_train_SIXray_OPIXray No objects detected Detection preview by DN_Medium_300_yolov8m_20t7_new gun Detection preview by Segmentatation_v8_medium_train_250 gun Detection preview by Segmentation_V11_large_300_train_300 gun Detection preview by Segmentation_v8_large_300_train_300
Original Image: P01524.jpg
GT: gun, pliers
gun, pliers Detection preview by Box_v11_medium_train_SIXray_OPIXray gun Detection preview by DN_Medium_300_yolov8m_20t7_new gun Detection preview by Segmentatation_v8_medium_train_250 gun Detection preview by Segmentation_V11_large_300_train_300 gun Detection preview by Segmentation_v8_large_300_train_300
Original Image: P01525.jpg
GT: gun, pliers
gun, pliers Detection preview by Box_v11_medium_train_SIXray_OPIXray No objects detected Detection preview by DN_Medium_300_yolov8m_20t7_new gun Detection preview by Segmentatation_v8_medium_train_250 gun Detection preview by Segmentation_V11_large_300_train_300 gun Detection preview by Segmentation_v8_large_300_train_300
Original Image: P01526.jpg
GT: gun, pliers
gun, pliers Detection preview by Box_v11_medium_train_SIXray_OPIXray No objects detected Detection preview by DN_Medium_300_yolov8m_20t7_new gun Detection preview by Segmentatation_v8_medium_train_250 gun Detection preview by Segmentation_V11_large_300_train_300 gun Detection preview by Segmentation_v8_large_300_train_300
Original Image: P01527.jpg
GT: gun, pliers
gun, pliers Detection preview by Box_v11_medium_train_SIXray_OPIXray No objects detected Detection preview by DN_Medium_300_yolov8m_20t7_new gun Detection preview by Segmentatation_v8_medium_train_250 gun Detection preview by Segmentation_V11_large_300_train_300 gun Detection preview by Segmentation_v8_large_300_train_300
Original Image: P01528.jpg
GT: gun, pliers
gun, pliers Detection preview by Box_v11_medium_train_SIXray_OPIXray pliers Detection preview by DN_Medium_300_yolov8m_20t7_new gun Detection preview by Segmentatation_v8_medium_train_250 gun Detection preview by Segmentation_V11_large_300_train_300 gun Detection preview by Segmentation_v8_large_300_train_300
Original Image: P01529.jpg
GT: gun
gun Detection preview by Box_v11_medium_train_SIXray_OPIXray No objects detected Detection preview by DN_Medium_300_yolov8m_20t7_new gun Detection preview by Segmentatation_v8_medium_train_250 gun Detection preview by Segmentation_V11_large_300_train_300 gun Detection preview by Segmentation_v8_large_300_train_300
Original Image: P01530.jpg
GT: gun, pliers
gun, pliers Detection preview by Box_v11_medium_train_SIXray_OPIXray No objects detected Detection preview by DN_Medium_300_yolov8m_20t7_new gun Detection preview by Segmentatation_v8_medium_train_250 gun Detection preview by Segmentation_V11_large_300_train_300 gun Detection preview by Segmentation_v8_large_300_train_300
Original Image: P01531.jpg
GT: gun, pliers
gun, pliers Detection preview by Box_v11_medium_train_SIXray_OPIXray gun Detection preview by DN_Medium_300_yolov8m_20t7_new gun Detection preview by Segmentatation_v8_medium_train_250 gun Detection preview by Segmentation_V11_large_300_train_300 gun Detection preview by Segmentation_v8_large_300_train_300
Original Image: P01532.jpg
GT: gun, pliers
gun, pliers Detection preview by Box_v11_medium_train_SIXray_OPIXray No objects detected Detection preview by DN_Medium_300_yolov8m_20t7_new gun Detection preview by Segmentatation_v8_medium_train_250 gun Detection preview by Segmentation_V11_large_300_train_300 gun Detection preview by Segmentation_v8_large_300_train_300
Original Image: P01533.jpg
GT: gun, pliers
gun, pliers Detection preview by Box_v11_medium_train_SIXray_OPIXray gun Detection preview by DN_Medium_300_yolov8m_20t7_new gun Detection preview by Segmentatation_v8_medium_train_250 gun Detection preview by Segmentation_V11_large_300_train_300 gun Detection preview by Segmentation_v8_large_300_train_300
Original Image: P01534.jpg
GT: gun, pliers
gun, pliers Detection preview by Box_v11_medium_train_SIXray_OPIXray gun Detection preview by DN_Medium_300_yolov8m_20t7_new gun Detection preview by Segmentatation_v8_medium_train_250 gun Detection preview by Segmentation_V11_large_300_train_300 gun Detection preview by Segmentation_v8_large_300_train_300
Original Image: P01535.jpg
GT: gun, pliers
gun, pliers Detection preview by Box_v11_medium_train_SIXray_OPIXray gun Detection preview by DN_Medium_300_yolov8m_20t7_new gun Detection preview by Segmentatation_v8_medium_train_250 gun Detection preview by Segmentation_V11_large_300_train_300 gun Detection preview by Segmentation_v8_large_300_train_300
Original Image: P01536.jpg
GT: gun, pliers
gun, pliers Detection preview by Box_v11_medium_train_SIXray_OPIXray No objects detected Detection preview by DN_Medium_300_yolov8m_20t7_new gun Detection preview by Segmentatation_v8_medium_train_250 gun Detection preview by Segmentation_V11_large_300_train_300 gun Detection preview by Segmentation_v8_large_300_train_300
Original Image: P01537.jpg
GT: gun, pliers
gun, pliers Detection preview by Box_v11_medium_train_SIXray_OPIXray pliers Detection preview by DN_Medium_300_yolov8m_20t7_new gun Detection preview by Segmentatation_v8_medium_train_250 gun Detection preview by Segmentation_V11_large_300_train_300 gun Detection preview by Segmentation_v8_large_300_train_300
Original Image: P01538.jpg
GT: gun, pliers
gun, pliers Detection preview by Box_v11_medium_train_SIXray_OPIXray No objects detected Detection preview by DN_Medium_300_yolov8m_20t7_new gun Detection preview by Segmentatation_v8_medium_train_250 gun Detection preview by Segmentation_V11_large_300_train_300 gun Detection preview by Segmentation_v8_large_300_train_300
Original Image: P01539.jpg
GT: gun, pliers
gun, pliers Detection preview by Box_v11_medium_train_SIXray_OPIXray gun, pliers Detection preview by DN_Medium_300_yolov8m_20t7_new gun Detection preview by Segmentatation_v8_medium_train_250 gun Detection preview by Segmentation_V11_large_300_train_300 gun Detection preview by Segmentation_v8_large_300_train_300
Original Image: P01540.jpg
GT: gun, pliers
gun, pliers Detection preview by Box_v11_medium_train_SIXray_OPIXray No objects detected Detection preview by DN_Medium_300_yolov8m_20t7_new gun Detection preview by Segmentatation_v8_medium_train_250 gun Detection preview by Segmentation_V11_large_300_train_300 gun Detection preview by Segmentation_v8_large_300_train_300
Original Image: P01541.jpg
GT: gun, pliers
gun, pliers Detection preview by Box_v11_medium_train_SIXray_OPIXray No objects detected Detection preview by DN_Medium_300_yolov8m_20t7_new gun Detection preview by Segmentatation_v8_medium_train_250 gun Detection preview by Segmentation_V11_large_300_train_300 gun Detection preview by Segmentation_v8_large_300_train_300
Original Image: P01542.jpg
GT: gun, pliers
gun, pliers Detection preview by Box_v11_medium_train_SIXray_OPIXray No objects detected Detection preview by DN_Medium_300_yolov8m_20t7_new gun Detection preview by Segmentatation_v8_medium_train_250 gun Detection preview by Segmentation_V11_large_300_train_300 gun Detection preview by Segmentation_v8_large_300_train_300
Original Image: P01543.jpg
GT: gun, pliers
gun, pliers Detection preview by Box_v11_medium_train_SIXray_OPIXray No objects detected Detection preview by DN_Medium_300_yolov8m_20t7_new gun Detection preview by Segmentatation_v8_medium_train_250 gun Detection preview by Segmentation_V11_large_300_train_300 gun Detection preview by Segmentation_v8_large_300_train_300
Original Image: P01544.jpg
GT: gun, pliers
gun, pliers Detection preview by Box_v11_medium_train_SIXray_OPIXray No objects detected Detection preview by DN_Medium_300_yolov8m_20t7_new gun Detection preview by Segmentatation_v8_medium_train_250 gun Detection preview by Segmentation_V11_large_300_train_300 gun Detection preview by Segmentation_v8_large_300_train_300
Original Image: P01545.jpg
GT: gun, pliers
gun, pliers Detection preview by Box_v11_medium_train_SIXray_OPIXray No objects detected Detection preview by DN_Medium_300_yolov8m_20t7_new gun Detection preview by Segmentatation_v8_medium_train_250 gun Detection preview by Segmentation_V11_large_300_train_300 gun Detection preview by Segmentation_v8_large_300_train_300
Original Image: P01546.jpg
GT: gun, pliers
gun, pliers Detection preview by Box_v11_medium_train_SIXray_OPIXray No objects detected Detection preview by DN_Medium_300_yolov8m_20t7_new gun Detection preview by Segmentatation_v8_medium_train_250 gun Detection preview by Segmentation_V11_large_300_train_300 gun Detection preview by Segmentation_v8_large_300_train_300
Original Image: P01547.jpg
GT: gun, pliers
gun, pliers Detection preview by Box_v11_medium_train_SIXray_OPIXray gun Detection preview by DN_Medium_300_yolov8m_20t7_new gun Detection preview by Segmentatation_v8_medium_train_250 gun Detection preview by Segmentation_V11_large_300_train_300 gun Detection preview by Segmentation_v8_large_300_train_300
Original Image: P01548.jpg
GT: gun, pliers
gun, pliers Detection preview by Box_v11_medium_train_SIXray_OPIXray No objects detected Detection preview by DN_Medium_300_yolov8m_20t7_new gun Detection preview by Segmentatation_v8_medium_train_250 gun Detection preview by Segmentation_V11_large_300_train_300 gun Detection preview by Segmentation_v8_large_300_train_300
Original Image: P01549.jpg
GT: gun, pliers
gun, pliers Detection preview by Box_v11_medium_train_SIXray_OPIXray No objects detected Detection preview by DN_Medium_300_yolov8m_20t7_new gun Detection preview by Segmentatation_v8_medium_train_250 gun Detection preview by Segmentation_V11_large_300_train_300 gun Detection preview by Segmentation_v8_large_300_train_300
Original Image: P01550.jpg
GT: gun, pliers
gun, pliers Detection preview by Box_v11_medium_train_SIXray_OPIXray No objects detected Detection preview by DN_Medium_300_yolov8m_20t7_new gun Detection preview by Segmentatation_v8_medium_train_250 gun Detection preview by Segmentation_V11_large_300_train_300 gun Detection preview by Segmentation_v8_large_300_train_300
Original Image: P01551.jpg
GT: gun, pliers
gun, pliers Detection preview by Box_v11_medium_train_SIXray_OPIXray No objects detected Detection preview by DN_Medium_300_yolov8m_20t7_new gun Detection preview by Segmentatation_v8_medium_train_250 gun Detection preview by Segmentation_V11_large_300_train_300 gun Detection preview by Segmentation_v8_large_300_train_300
Original Image: P01552.jpg
GT: gun, pliers
gun, pliers Detection preview by Box_v11_medium_train_SIXray_OPIXray No objects detected Detection preview by DN_Medium_300_yolov8m_20t7_new gun Detection preview by Segmentatation_v8_medium_train_250 gun Detection preview by Segmentation_V11_large_300_train_300 gun Detection preview by Segmentation_v8_large_300_train_300
Original Image: P01553.jpg
GT: gun, pliers
gun, pliers Detection preview by Box_v11_medium_train_SIXray_OPIXray No objects detected Detection preview by DN_Medium_300_yolov8m_20t7_new gun Detection preview by Segmentatation_v8_medium_train_250 gun Detection preview by Segmentation_V11_large_300_train_300 gun Detection preview by Segmentation_v8_large_300_train_300
Original Image: P01554.jpg
GT: gun, pliers
gun, pliers Detection preview by Box_v11_medium_train_SIXray_OPIXray No objects detected Detection preview by DN_Medium_300_yolov8m_20t7_new gun Detection preview by Segmentatation_v8_medium_train_250 gun Detection preview by Segmentation_V11_large_300_train_300 gun Detection preview by Segmentation_v8_large_300_train_300
Original Image: P01555.jpg
GT: gun, pliers
gun, pliers Detection preview by Box_v11_medium_train_SIXray_OPIXray No objects detected Detection preview by DN_Medium_300_yolov8m_20t7_new gun Detection preview by Segmentatation_v8_medium_train_250 gun Detection preview by Segmentation_V11_large_300_train_300 gun Detection preview by Segmentation_v8_large_300_train_300
Original Image: P01556.jpg
GT: gun, pliers
gun, pliers Detection preview by Box_v11_medium_train_SIXray_OPIXray pliers Detection preview by DN_Medium_300_yolov8m_20t7_new gun Detection preview by Segmentatation_v8_medium_train_250 gun Detection preview by Segmentation_V11_large_300_train_300 gun Detection preview by Segmentation_v8_large_300_train_300
Original Image: P01557.jpg
GT: gun, pliers
gun, pliers Detection preview by Box_v11_medium_train_SIXray_OPIXray pliers Detection preview by DN_Medium_300_yolov8m_20t7_new gun Detection preview by Segmentatation_v8_medium_train_250 gun Detection preview by Segmentation_V11_large_300_train_300 gun Detection preview by Segmentation_v8_large_300_train_300
Original Image: P01558.jpg
GT: gun, pliers
gun, pliers Detection preview by Box_v11_medium_train_SIXray_OPIXray No objects detected Detection preview by DN_Medium_300_yolov8m_20t7_new gun Detection preview by Segmentatation_v8_medium_train_250 gun Detection preview by Segmentation_V11_large_300_train_300 gun Detection preview by Segmentation_v8_large_300_train_300
Original Image: P01559.jpg
GT: gun, pliers
gun, pliers Detection preview by Box_v11_medium_train_SIXray_OPIXray No objects detected Detection preview by DN_Medium_300_yolov8m_20t7_new gun Detection preview by Segmentatation_v8_medium_train_250 gun Detection preview by Segmentation_V11_large_300_train_300 gun Detection preview by Segmentation_v8_large_300_train_300
Original Image: P01560.jpg
GT: gun, pliers
gun, pliers Detection preview by Box_v11_medium_train_SIXray_OPIXray No objects detected Detection preview by DN_Medium_300_yolov8m_20t7_new gun Detection preview by Segmentatation_v8_medium_train_250 gun Detection preview by Segmentation_V11_large_300_train_300 gun Detection preview by Segmentation_v8_large_300_train_300
Original Image: P01561.jpg
GT: gun, pliers
gun, pliers Detection preview by Box_v11_medium_train_SIXray_OPIXray No objects detected Detection preview by DN_Medium_300_yolov8m_20t7_new gun Detection preview by Segmentatation_v8_medium_train_250 gun Detection preview by Segmentation_V11_large_300_train_300 gun Detection preview by Segmentation_v8_large_300_train_300
Original Image: P01562.jpg
GT: gun, pliers
gun, pliers Detection preview by Box_v11_medium_train_SIXray_OPIXray No objects detected Detection preview by DN_Medium_300_yolov8m_20t7_new gun Detection preview by Segmentatation_v8_medium_train_250 gun Detection preview by Segmentation_V11_large_300_train_300 gun Detection preview by Segmentation_v8_large_300_train_300
Original Image: P01563.jpg
GT: gun, pliers
gun, pliers Detection preview by Box_v11_medium_train_SIXray_OPIXray No objects detected Detection preview by DN_Medium_300_yolov8m_20t7_new gun Detection preview by Segmentatation_v8_medium_train_250 gun Detection preview by Segmentation_V11_large_300_train_300 gun Detection preview by Segmentation_v8_large_300_train_300
Original Image: P01564.jpg
GT: gun, pliers
gun, pliers Detection preview by Box_v11_medium_train_SIXray_OPIXray pliers Detection preview by DN_Medium_300_yolov8m_20t7_new gun Detection preview by Segmentatation_v8_medium_train_250 gun Detection preview by Segmentation_V11_large_300_train_300 gun Detection preview by Segmentation_v8_large_300_train_300
Original Image: P01565.jpg
GT: gun, pliers
gun, pliers Detection preview by Box_v11_medium_train_SIXray_OPIXray pliers Detection preview by DN_Medium_300_yolov8m_20t7_new gun Detection preview by Segmentatation_v8_medium_train_250 gun Detection preview by Segmentation_V11_large_300_train_300 gun Detection preview by Segmentation_v8_large_300_train_300
Original Image: P01566.jpg
GT: gun, pliers
gun, pliers Detection preview by Box_v11_medium_train_SIXray_OPIXray gun Detection preview by DN_Medium_300_yolov8m_20t7_new gun Detection preview by Segmentatation_v8_medium_train_250 gun Detection preview by Segmentation_V11_large_300_train_300 gun Detection preview by Segmentation_v8_large_300_train_300
Original Image: P01567.jpg
GT: gun, pliers
gun, pliers Detection preview by Box_v11_medium_train_SIXray_OPIXray No objects detected Detection preview by DN_Medium_300_yolov8m_20t7_new gun Detection preview by Segmentatation_v8_medium_train_250 gun Detection preview by Segmentation_V11_large_300_train_300 gun Detection preview by Segmentation_v8_large_300_train_300
Original Image: P01568.jpg
GT: gun, pliers
gun, pliers Detection preview by Box_v11_medium_train_SIXray_OPIXray gun Detection preview by DN_Medium_300_yolov8m_20t7_new gun Detection preview by Segmentatation_v8_medium_train_250 gun Detection preview by Segmentation_V11_large_300_train_300 gun Detection preview by Segmentation_v8_large_300_train_300
Original Image: P01569.jpg
GT: gun, pliers
gun, pliers Detection preview by Box_v11_medium_train_SIXray_OPIXray gun Detection preview by DN_Medium_300_yolov8m_20t7_new gun Detection preview by Segmentatation_v8_medium_train_250 gun Detection preview by Segmentation_V11_large_300_train_300 gun Detection preview by Segmentation_v8_large_300_train_300
Original Image: P01570.jpg
GT: gun, pliers
gun, pliers Detection preview by Box_v11_medium_train_SIXray_OPIXray gun Detection preview by DN_Medium_300_yolov8m_20t7_new gun Detection preview by Segmentatation_v8_medium_train_250 gun Detection preview by Segmentation_V11_large_300_train_300 gun Detection preview by Segmentation_v8_large_300_train_300
Original Image: P01571.jpg
GT: gun, pliers
gun, pliers Detection preview by Box_v11_medium_train_SIXray_OPIXray gun Detection preview by DN_Medium_300_yolov8m_20t7_new gun Detection preview by Segmentatation_v8_medium_train_250 gun Detection preview by Segmentation_V11_large_300_train_300 gun Detection preview by Segmentation_v8_large_300_train_300
Original Image: P01572.jpg
GT: gun, pliers
gun, pliers Detection preview by Box_v11_medium_train_SIXray_OPIXray gun, pliers Detection preview by DN_Medium_300_yolov8m_20t7_new gun Detection preview by Segmentatation_v8_medium_train_250 gun Detection preview by Segmentation_V11_large_300_train_300 gun Detection preview by Segmentation_v8_large_300_train_300
Original Image: P01573.jpg
GT: gun, pliers
gun, pliers Detection preview by Box_v11_medium_train_SIXray_OPIXray gun, pliers Detection preview by DN_Medium_300_yolov8m_20t7_new gun Detection preview by Segmentatation_v8_medium_train_250 gun Detection preview by Segmentation_V11_large_300_train_300 gun Detection preview by Segmentation_v8_large_300_train_300
Original Image: P01574.jpg
GT: gun, pliers
gun, pliers Detection preview by Box_v11_medium_train_SIXray_OPIXray No objects detected Detection preview by DN_Medium_300_yolov8m_20t7_new gun Detection preview by Segmentatation_v8_medium_train_250 gun Detection preview by Segmentation_V11_large_300_train_300 gun Detection preview by Segmentation_v8_large_300_train_300
Original Image: P01575.jpg
GT: gun, pliers
gun, pliers Detection preview by Box_v11_medium_train_SIXray_OPIXray gun Detection preview by DN_Medium_300_yolov8m_20t7_new gun Detection preview by Segmentatation_v8_medium_train_250 gun Detection preview by Segmentation_V11_large_300_train_300 gun Detection preview by Segmentation_v8_large_300_train_300
Original Image: P01576.jpg
GT: gun, pliers
gun, pliers Detection preview by Box_v11_medium_train_SIXray_OPIXray No objects detected Detection preview by DN_Medium_300_yolov8m_20t7_new gun Detection preview by Segmentatation_v8_medium_train_250 gun Detection preview by Segmentation_V11_large_300_train_300 gun Detection preview by Segmentation_v8_large_300_train_300
Original Image: P01577.jpg
GT: gun, pliers
gun, pliers Detection preview by Box_v11_medium_train_SIXray_OPIXray No objects detected Detection preview by DN_Medium_300_yolov8m_20t7_new gun Detection preview by Segmentatation_v8_medium_train_250 gun Detection preview by Segmentation_V11_large_300_train_300 gun Detection preview by Segmentation_v8_large_300_train_300
Original Image: P01578.jpg
GT: gun, pliers
gun, pliers Detection preview by Box_v11_medium_train_SIXray_OPIXray No objects detected Detection preview by DN_Medium_300_yolov8m_20t7_new gun Detection preview by Segmentatation_v8_medium_train_250 gun Detection preview by Segmentation_V11_large_300_train_300 gun Detection preview by Segmentation_v8_large_300_train_300
Original Image: P01579.jpg
GT: gun, pliers
gun, pliers Detection preview by Box_v11_medium_train_SIXray_OPIXray No objects detected Detection preview by DN_Medium_300_yolov8m_20t7_new gun Detection preview by Segmentatation_v8_medium_train_250 gun Detection preview by Segmentation_V11_large_300_train_300 gun Detection preview by Segmentation_v8_large_300_train_300
Original Image: P01580.jpg
GT: gun, pliers
gun, pliers Detection preview by Box_v11_medium_train_SIXray_OPIXray pliers Detection preview by DN_Medium_300_yolov8m_20t7_new gun Detection preview by Segmentatation_v8_medium_train_250 gun Detection preview by Segmentation_V11_large_300_train_300 gun Detection preview by Segmentation_v8_large_300_train_300
Original Image: P01581.jpg
GT: gun, pliers
gun, pliers Detection preview by Box_v11_medium_train_SIXray_OPIXray No objects detected Detection preview by DN_Medium_300_yolov8m_20t7_new gun Detection preview by Segmentatation_v8_medium_train_250 gun Detection preview by Segmentation_V11_large_300_train_300 gun Detection preview by Segmentation_v8_large_300_train_300
Original Image: P01582.jpg
GT: gun, pliers
gun, pliers Detection preview by Box_v11_medium_train_SIXray_OPIXray gun Detection preview by DN_Medium_300_yolov8m_20t7_new gun Detection preview by Segmentatation_v8_medium_train_250 gun Detection preview by Segmentation_V11_large_300_train_300 gun Detection preview by Segmentation_v8_large_300_train_300
Original Image: P01583.jpg
GT: gun, pliers
gun, pliers Detection preview by Box_v11_medium_train_SIXray_OPIXray gun Detection preview by DN_Medium_300_yolov8m_20t7_new gun Detection preview by Segmentatation_v8_medium_train_250 gun Detection preview by Segmentation_V11_large_300_train_300 gun Detection preview by Segmentation_v8_large_300_train_300
Original Image: P01584.jpg
GT: gun, pliers
gun, pliers Detection preview by Box_v11_medium_train_SIXray_OPIXray gun Detection preview by DN_Medium_300_yolov8m_20t7_new gun Detection preview by Segmentatation_v8_medium_train_250 gun Detection preview by Segmentation_V11_large_300_train_300 gun Detection preview by Segmentation_v8_large_300_train_300
Original Image: P01585.jpg
GT: gun, pliers
gun, pliers Detection preview by Box_v11_medium_train_SIXray_OPIXray gun Detection preview by DN_Medium_300_yolov8m_20t7_new gun Detection preview by Segmentatation_v8_medium_train_250 gun Detection preview by Segmentation_V11_large_300_train_300 gun Detection preview by Segmentation_v8_large_300_train_300
Original Image: P01586.jpg
GT: gun, pliers
gun, pliers Detection preview by Box_v11_medium_train_SIXray_OPIXray No objects detected Detection preview by DN_Medium_300_yolov8m_20t7_new gun Detection preview by Segmentatation_v8_medium_train_250 gun Detection preview by Segmentation_V11_large_300_train_300 gun Detection preview by Segmentation_v8_large_300_train_300
Original Image: P01587.jpg
GT: gun, pliers
gun, pliers Detection preview by Box_v11_medium_train_SIXray_OPIXray No objects detected Detection preview by DN_Medium_300_yolov8m_20t7_new gun Detection preview by Segmentatation_v8_medium_train_250 gun Detection preview by Segmentation_V11_large_300_train_300 gun Detection preview by Segmentation_v8_large_300_train_300
Original Image: P01588.jpg
GT: gun, pliers
gun, pliers Detection preview by Box_v11_medium_train_SIXray_OPIXray No objects detected Detection preview by DN_Medium_300_yolov8m_20t7_new gun Detection preview by Segmentatation_v8_medium_train_250 gun Detection preview by Segmentation_V11_large_300_train_300 gun Detection preview by Segmentation_v8_large_300_train_300
Original Image: P01589.jpg
GT: gun, pliers
gun, pliers Detection preview by Box_v11_medium_train_SIXray_OPIXray gun Detection preview by DN_Medium_300_yolov8m_20t7_new gun Detection preview by Segmentatation_v8_medium_train_250 gun Detection preview by Segmentation_V11_large_300_train_300 gun Detection preview by Segmentation_v8_large_300_train_300
Original Image: P01590.jpg
GT: gun, pliers
gun, pliers Detection preview by Box_v11_medium_train_SIXray_OPIXray gun Detection preview by DN_Medium_300_yolov8m_20t7_new gun Detection preview by Segmentatation_v8_medium_train_250 gun Detection preview by Segmentation_V11_large_300_train_300 gun Detection preview by Segmentation_v8_large_300_train_300
Original Image: P01591.jpg
GT: gun, pliers
gun, pliers Detection preview by Box_v11_medium_train_SIXray_OPIXray gun Detection preview by DN_Medium_300_yolov8m_20t7_new gun Detection preview by Segmentatation_v8_medium_train_250 gun Detection preview by Segmentation_V11_large_300_train_300 gun Detection preview by Segmentation_v8_large_300_train_300
Original Image: P01592.jpg
GT: gun, pliers
gun, pliers Detection preview by Box_v11_medium_train_SIXray_OPIXray gun Detection preview by DN_Medium_300_yolov8m_20t7_new gun Detection preview by Segmentatation_v8_medium_train_250 gun Detection preview by Segmentation_V11_large_300_train_300 gun Detection preview by Segmentation_v8_large_300_train_300
Original Image: P01593.jpg
GT: gun, pliers
gun, pliers Detection preview by Box_v11_medium_train_SIXray_OPIXray gun Detection preview by DN_Medium_300_yolov8m_20t7_new gun Detection preview by Segmentatation_v8_medium_train_250 gun Detection preview by Segmentation_V11_large_300_train_300 gun Detection preview by Segmentation_v8_large_300_train_300
Original Image: P01594.jpg
GT: gun, pliers
gun, pliers Detection preview by Box_v11_medium_train_SIXray_OPIXray gun Detection preview by DN_Medium_300_yolov8m_20t7_new gun Detection preview by Segmentatation_v8_medium_train_250 gun Detection preview by Segmentation_V11_large_300_train_300 gun Detection preview by Segmentation_v8_large_300_train_300
Original Image: P01595.jpg
GT: gun, pliers
gun, pliers Detection preview by Box_v11_medium_train_SIXray_OPIXray No objects detected Detection preview by DN_Medium_300_yolov8m_20t7_new gun Detection preview by Segmentatation_v8_medium_train_250 gun Detection preview by Segmentation_V11_large_300_train_300 gun Detection preview by Segmentation_v8_large_300_train_300
Original Image: P01596.jpg
GT: gun
gun Detection preview by Box_v11_medium_train_SIXray_OPIXray No objects detected Detection preview by DN_Medium_300_yolov8m_20t7_new gun Detection preview by Segmentatation_v8_medium_train_250 gun Detection preview by Segmentation_V11_large_300_train_300 gun Detection preview by Segmentation_v8_large_300_train_300
Original Image: P01597.jpg
GT: gun
gun Detection preview by Box_v11_medium_train_SIXray_OPIXray No objects detected Detection preview by DN_Medium_300_yolov8m_20t7_new gun Detection preview by Segmentatation_v8_medium_train_250 gun Detection preview by Segmentation_V11_large_300_train_300 gun Detection preview by Segmentation_v8_large_300_train_300
Original Image: P01598.jpg
GT: gun
gun Detection preview by Box_v11_medium_train_SIXray_OPIXray No objects detected Detection preview by DN_Medium_300_yolov8m_20t7_new gun Detection preview by Segmentatation_v8_medium_train_250 gun Detection preview by Segmentation_V11_large_300_train_300 gun Detection preview by Segmentation_v8_large_300_train_300
Original Image: P01599.jpg
GT: gun
gun Detection preview by Box_v11_medium_train_SIXray_OPIXray No objects detected Detection preview by DN_Medium_300_yolov8m_20t7_new gun Detection preview by Segmentatation_v8_medium_train_250 gun Detection preview by Segmentation_V11_large_300_train_300 gun Detection preview by Segmentation_v8_large_300_train_300
Original Image: P01600.jpg
GT: gun
gun Detection preview by Box_v11_medium_train_SIXray_OPIXray No objects detected Detection preview by DN_Medium_300_yolov8m_20t7_new gun Detection preview by Segmentatation_v8_medium_train_250 gun Detection preview by Segmentation_V11_large_300_train_300 gun Detection preview by Segmentation_v8_large_300_train_300
Original Image: P01601.jpg
GT: gun
gun Detection preview by Box_v11_medium_train_SIXray_OPIXray No objects detected Detection preview by DN_Medium_300_yolov8m_20t7_new gun Detection preview by Segmentatation_v8_medium_train_250 gun Detection preview by Segmentation_V11_large_300_train_300 gun Detection preview by Segmentation_v8_large_300_train_300
Original Image: P01602.jpg
GT: gun
gun Detection preview by Box_v11_medium_train_SIXray_OPIXray No objects detected Detection preview by DN_Medium_300_yolov8m_20t7_new gun Detection preview by Segmentatation_v8_medium_train_250 gun Detection preview by Segmentation_V11_large_300_train_300 gun Detection preview by Segmentation_v8_large_300_train_300
Original Image: P01603.jpg
GT: gun
gun Detection preview by Box_v11_medium_train_SIXray_OPIXray No objects detected Detection preview by DN_Medium_300_yolov8m_20t7_new gun Detection preview by Segmentatation_v8_medium_train_250 gun Detection preview by Segmentation_V11_large_300_train_300 gun Detection preview by Segmentation_v8_large_300_train_300
Original Image: P01604.jpg
GT: gun
gun Detection preview by Box_v11_medium_train_SIXray_OPIXray No objects detected Detection preview by DN_Medium_300_yolov8m_20t7_new gun Detection preview by Segmentatation_v8_medium_train_250 gun Detection preview by Segmentation_V11_large_300_train_300 gun Detection preview by Segmentation_v8_large_300_train_300
Original Image: P01605.jpg
GT: gun
gun Detection preview by Box_v11_medium_train_SIXray_OPIXray No objects detected Detection preview by DN_Medium_300_yolov8m_20t7_new gun Detection preview by Segmentatation_v8_medium_train_250 gun Detection preview by Segmentation_V11_large_300_train_300 gun Detection preview by Segmentation_v8_large_300_train_300
Original Image: P01606.jpg
GT: gun
gun Detection preview by Box_v11_medium_train_SIXray_OPIXray gun Detection preview by DN_Medium_300_yolov8m_20t7_new gun Detection preview by Segmentatation_v8_medium_train_250 gun Detection preview by Segmentation_V11_large_300_train_300 gun Detection preview by Segmentation_v8_large_300_train_300
Original Image: P01607.jpg
GT: gun
gun Detection preview by Box_v11_medium_train_SIXray_OPIXray gun Detection preview by DN_Medium_300_yolov8m_20t7_new gun Detection preview by Segmentatation_v8_medium_train_250 gun Detection preview by Segmentation_V11_large_300_train_300 gun Detection preview by Segmentation_v8_large_300_train_300
Original Image: P01608.jpg
GT: gun
gun Detection preview by Box_v11_medium_train_SIXray_OPIXray No objects detected Detection preview by DN_Medium_300_yolov8m_20t7_new gun Detection preview by Segmentatation_v8_medium_train_250 gun Detection preview by Segmentation_V11_large_300_train_300 gun Detection preview by Segmentation_v8_large_300_train_300
Original Image: P01609.jpg
GT: gun
gun Detection preview by Box_v11_medium_train_SIXray_OPIXray No objects detected Detection preview by DN_Medium_300_yolov8m_20t7_new gun Detection preview by Segmentatation_v8_medium_train_250 gun Detection preview by Segmentation_V11_large_300_train_300 gun Detection preview by Segmentation_v8_large_300_train_300
Original Image: P01610.jpg
GT: gun
gun Detection preview by Box_v11_medium_train_SIXray_OPIXray No objects detected Detection preview by DN_Medium_300_yolov8m_20t7_new gun Detection preview by Segmentatation_v8_medium_train_250 gun Detection preview by Segmentation_V11_large_300_train_300 gun Detection preview by Segmentation_v8_large_300_train_300
Original Image: P01611.jpg
GT: gun
gun Detection preview by Box_v11_medium_train_SIXray_OPIXray No objects detected Detection preview by DN_Medium_300_yolov8m_20t7_new gun Detection preview by Segmentatation_v8_medium_train_250 gun Detection preview by Segmentation_V11_large_300_train_300 gun Detection preview by Segmentation_v8_large_300_train_300
Original Image: P01612.jpg
GT: gun
gun Detection preview by Box_v11_medium_train_SIXray_OPIXray gun Detection preview by DN_Medium_300_yolov8m_20t7_new gun Detection preview by Segmentatation_v8_medium_train_250 gun Detection preview by Segmentation_V11_large_300_train_300 gun Detection preview by Segmentation_v8_large_300_train_300
Original Image: P01613.jpg
GT: gun
gun Detection preview by Box_v11_medium_train_SIXray_OPIXray No objects detected Detection preview by DN_Medium_300_yolov8m_20t7_new gun Detection preview by Segmentatation_v8_medium_train_250 gun Detection preview by Segmentation_V11_large_300_train_300 gun Detection preview by Segmentation_v8_large_300_train_300
Original Image: P01614.jpg
GT: gun
gun Detection preview by Box_v11_medium_train_SIXray_OPIXray gun Detection preview by DN_Medium_300_yolov8m_20t7_new gun Detection preview by Segmentatation_v8_medium_train_250 gun Detection preview by Segmentation_V11_large_300_train_300 gun Detection preview by Segmentation_v8_large_300_train_300
Original Image: P01615.jpg
GT: gun
gun Detection preview by Box_v11_medium_train_SIXray_OPIXray gun Detection preview by DN_Medium_300_yolov8m_20t7_new gun Detection preview by Segmentatation_v8_medium_train_250 gun Detection preview by Segmentation_V11_large_300_train_300 gun Detection preview by Segmentation_v8_large_300_train_300
Original Image: P01616.jpg
GT: gun
gun Detection preview by Box_v11_medium_train_SIXray_OPIXray gun Detection preview by DN_Medium_300_yolov8m_20t7_new gun Detection preview by Segmentatation_v8_medium_train_250 gun Detection preview by Segmentation_V11_large_300_train_300 gun Detection preview by Segmentation_v8_large_300_train_300
Original Image: P01617.jpg
GT: gun
gun Detection preview by Box_v11_medium_train_SIXray_OPIXray No objects detected Detection preview by DN_Medium_300_yolov8m_20t7_new gun Detection preview by Segmentatation_v8_medium_train_250 gun Detection preview by Segmentation_V11_large_300_train_300 gun Detection preview by Segmentation_v8_large_300_train_300
Original Image: P01618.jpg
GT: gun
gun Detection preview by Box_v11_medium_train_SIXray_OPIXray No objects detected Detection preview by DN_Medium_300_yolov8m_20t7_new gun Detection preview by Segmentatation_v8_medium_train_250 gun Detection preview by Segmentation_V11_large_300_train_300 gun Detection preview by Segmentation_v8_large_300_train_300
Original Image: P01619.jpg
GT: gun
gun Detection preview by Box_v11_medium_train_SIXray_OPIXray No objects detected Detection preview by DN_Medium_300_yolov8m_20t7_new gun Detection preview by Segmentatation_v8_medium_train_250 gun Detection preview by Segmentation_V11_large_300_train_300 gun Detection preview by Segmentation_v8_large_300_train_300
Original Image: P01620.jpg
GT: gun
gun Detection preview by Box_v11_medium_train_SIXray_OPIXray No objects detected Detection preview by DN_Medium_300_yolov8m_20t7_new gun Detection preview by Segmentatation_v8_medium_train_250 gun Detection preview by Segmentation_V11_large_300_train_300 gun Detection preview by Segmentation_v8_large_300_train_300
Original Image: P01621.jpg
GT: gun
gun Detection preview by Box_v11_medium_train_SIXray_OPIXray gun Detection preview by DN_Medium_300_yolov8m_20t7_new gun Detection preview by Segmentatation_v8_medium_train_250 gun Detection preview by Segmentation_V11_large_300_train_300 gun Detection preview by Segmentation_v8_large_300_train_300
Original Image: P01622.jpg
GT: gun
gun Detection preview by Box_v11_medium_train_SIXray_OPIXray gun Detection preview by DN_Medium_300_yolov8m_20t7_new gun Detection preview by Segmentatation_v8_medium_train_250 gun Detection preview by Segmentation_V11_large_300_train_300 gun Detection preview by Segmentation_v8_large_300_train_300
Original Image: P01623.jpg
GT: gun
gun Detection preview by Box_v11_medium_train_SIXray_OPIXray gun Detection preview by DN_Medium_300_yolov8m_20t7_new gun Detection preview by Segmentatation_v8_medium_train_250 gun Detection preview by Segmentation_V11_large_300_train_300 gun Detection preview by Segmentation_v8_large_300_train_300
Original Image: P01624.jpg
GT: gun
gun Detection preview by Box_v11_medium_train_SIXray_OPIXray gun Detection preview by DN_Medium_300_yolov8m_20t7_new gun Detection preview by Segmentatation_v8_medium_train_250 gun Detection preview by Segmentation_V11_large_300_train_300 gun Detection preview by Segmentation_v8_large_300_train_300
Original Image: P01625.jpg
GT: gun
gun Detection preview by Box_v11_medium_train_SIXray_OPIXray gun Detection preview by DN_Medium_300_yolov8m_20t7_new gun Detection preview by Segmentatation_v8_medium_train_250 gun Detection preview by Segmentation_V11_large_300_train_300 gun Detection preview by Segmentation_v8_large_300_train_300
Original Image: P01626.jpg
GT: gun, pliers, wrench
gun, pliers, wrench Detection preview by Box_v11_medium_train_SIXray_OPIXray wrench Detection preview by DN_Medium_300_yolov8m_20t7_new gun, wrench Detection preview by Segmentatation_v8_medium_train_250 gun, wrench Detection preview by Segmentation_V11_large_300_train_300 gun, wrench Detection preview by Segmentation_v8_large_300_train_300
Original Image: P01627.jpg
GT: gun
gun Detection preview by Box_v11_medium_train_SIXray_OPIXray No objects detected Detection preview by DN_Medium_300_yolov8m_20t7_new gun Detection preview by Segmentatation_v8_medium_train_250 gun Detection preview by Segmentation_V11_large_300_train_300 gun Detection preview by Segmentation_v8_large_300_train_300
Original Image: P01628.jpg
GT: gun
gun Detection preview by Box_v11_medium_train_SIXray_OPIXray No objects detected Detection preview by DN_Medium_300_yolov8m_20t7_new gun Detection preview by Segmentatation_v8_medium_train_250 gun Detection preview by Segmentation_V11_large_300_train_300 gun Detection preview by Segmentation_v8_large_300_train_300
Original Image: P01629.jpg
GT: gun
gun Detection preview by Box_v11_medium_train_SIXray_OPIXray No objects detected Detection preview by DN_Medium_300_yolov8m_20t7_new gun Detection preview by Segmentatation_v8_medium_train_250 gun Detection preview by Segmentation_V11_large_300_train_300 gun Detection preview by Segmentation_v8_large_300_train_300
Original Image: P01630.jpg
GT: gun
gun Detection preview by Box_v11_medium_train_SIXray_OPIXray gun Detection preview by DN_Medium_300_yolov8m_20t7_new gun Detection preview by Segmentatation_v8_medium_train_250 gun Detection preview by Segmentation_V11_large_300_train_300 gun Detection preview by Segmentation_v8_large_300_train_300
Original Image: P01631.jpg
GT: gun
gun Detection preview by Box_v11_medium_train_SIXray_OPIXray gun Detection preview by DN_Medium_300_yolov8m_20t7_new gun Detection preview by Segmentatation_v8_medium_train_250 gun Detection preview by Segmentation_V11_large_300_train_300 gun Detection preview by Segmentation_v8_large_300_train_300
Original Image: P01632.jpg
GT: gun
gun Detection preview by Box_v11_medium_train_SIXray_OPIXray gun Detection preview by DN_Medium_300_yolov8m_20t7_new gun Detection preview by Segmentatation_v8_medium_train_250 gun Detection preview by Segmentation_V11_large_300_train_300 gun Detection preview by Segmentation_v8_large_300_train_300
Original Image: P01633.jpg
GT: gun
gun Detection preview by Box_v11_medium_train_SIXray_OPIXray gun Detection preview by DN_Medium_300_yolov8m_20t7_new gun Detection preview by Segmentatation_v8_medium_train_250 gun Detection preview by Segmentation_V11_large_300_train_300 gun Detection preview by Segmentation_v8_large_300_train_300
Original Image: P01634.jpg
GT: gun
gun Detection preview by Box_v11_medium_train_SIXray_OPIXray gun Detection preview by DN_Medium_300_yolov8m_20t7_new gun Detection preview by Segmentatation_v8_medium_train_250 gun Detection preview by Segmentation_V11_large_300_train_300 gun Detection preview by Segmentation_v8_large_300_train_300
Original Image: P01635.jpg
GT: gun
gun Detection preview by Box_v11_medium_train_SIXray_OPIXray No objects detected Detection preview by DN_Medium_300_yolov8m_20t7_new gun Detection preview by Segmentatation_v8_medium_train_250 gun Detection preview by Segmentation_V11_large_300_train_300 gun Detection preview by Segmentation_v8_large_300_train_300
Original Image: P01636.jpg
GT: gun, pliers, wrench
gun, pliers, wrench Detection preview by Box_v11_medium_train_SIXray_OPIXray wrench Detection preview by DN_Medium_300_yolov8m_20t7_new gun, wrench Detection preview by Segmentatation_v8_medium_train_250 gun, wrench Detection preview by Segmentation_V11_large_300_train_300 gun, wrench Detection preview by Segmentation_v8_large_300_train_300
Original Image: P01637.jpg
GT: gun
gun Detection preview by Box_v11_medium_train_SIXray_OPIXray gun Detection preview by DN_Medium_300_yolov8m_20t7_new gun Detection preview by Segmentatation_v8_medium_train_250 gun Detection preview by Segmentation_V11_large_300_train_300 gun Detection preview by Segmentation_v8_large_300_train_300
Original Image: P01638.jpg
GT: gun
gun Detection preview by Box_v11_medium_train_SIXray_OPIXray No objects detected Detection preview by DN_Medium_300_yolov8m_20t7_new gun Detection preview by Segmentatation_v8_medium_train_250 gun Detection preview by Segmentation_V11_large_300_train_300 gun Detection preview by Segmentation_v8_large_300_train_300
Original Image: P01639.jpg
GT: gun
gun Detection preview by Box_v11_medium_train_SIXray_OPIXray No objects detected Detection preview by DN_Medium_300_yolov8m_20t7_new gun Detection preview by Segmentatation_v8_medium_train_250 gun Detection preview by Segmentation_V11_large_300_train_300 gun Detection preview by Segmentation_v8_large_300_train_300
Original Image: P01640.jpg
GT: gun
gun Detection preview by Box_v11_medium_train_SIXray_OPIXray No objects detected Detection preview by DN_Medium_300_yolov8m_20t7_new gun Detection preview by Segmentatation_v8_medium_train_250 gun Detection preview by Segmentation_V11_large_300_train_300 gun Detection preview by Segmentation_v8_large_300_train_300
Original Image: P01641.jpg
GT: gun
gun Detection preview by Box_v11_medium_train_SIXray_OPIXray No objects detected Detection preview by DN_Medium_300_yolov8m_20t7_new gun Detection preview by Segmentatation_v8_medium_train_250 gun Detection preview by Segmentation_V11_large_300_train_300 gun Detection preview by Segmentation_v8_large_300_train_300
Original Image: P01642.jpg
GT: gun
gun Detection preview by Box_v11_medium_train_SIXray_OPIXray No objects detected Detection preview by DN_Medium_300_yolov8m_20t7_new gun Detection preview by Segmentatation_v8_medium_train_250 gun Detection preview by Segmentation_V11_large_300_train_300 gun Detection preview by Segmentation_v8_large_300_train_300
Original Image: P01643.jpg
GT: gun
gun Detection preview by Box_v11_medium_train_SIXray_OPIXray No objects detected Detection preview by DN_Medium_300_yolov8m_20t7_new gun Detection preview by Segmentatation_v8_medium_train_250 gun Detection preview by Segmentation_V11_large_300_train_300 gun Detection preview by Segmentation_v8_large_300_train_300
Original Image: P01644.jpg
GT: gun
gun Detection preview by Box_v11_medium_train_SIXray_OPIXray No objects detected Detection preview by DN_Medium_300_yolov8m_20t7_new gun Detection preview by Segmentatation_v8_medium_train_250 gun Detection preview by Segmentation_V11_large_300_train_300 gun Detection preview by Segmentation_v8_large_300_train_300
Original Image: P01645.jpg
GT: gun
gun Detection preview by Box_v11_medium_train_SIXray_OPIXray gun Detection preview by DN_Medium_300_yolov8m_20t7_new gun Detection preview by Segmentatation_v8_medium_train_250 gun Detection preview by Segmentation_V11_large_300_train_300 gun Detection preview by Segmentation_v8_large_300_train_300
Original Image: P01646.jpg
GT: gun
gun Detection preview by Box_v11_medium_train_SIXray_OPIXray No objects detected Detection preview by DN_Medium_300_yolov8m_20t7_new gun Detection preview by Segmentatation_v8_medium_train_250 gun Detection preview by Segmentation_V11_large_300_train_300 gun Detection preview by Segmentation_v8_large_300_train_300
Original Image: P01647.jpg
GT: gun
gun Detection preview by Box_v11_medium_train_SIXray_OPIXray No objects detected Detection preview by DN_Medium_300_yolov8m_20t7_new gun Detection preview by Segmentatation_v8_medium_train_250 gun Detection preview by Segmentation_V11_large_300_train_300 gun Detection preview by Segmentation_v8_large_300_train_300
Original Image: P01648.jpg
GT: gun
gun Detection preview by Box_v11_medium_train_SIXray_OPIXray gun Detection preview by DN_Medium_300_yolov8m_20t7_new gun Detection preview by Segmentatation_v8_medium_train_250 gun Detection preview by Segmentation_V11_large_300_train_300 gun Detection preview by Segmentation_v8_large_300_train_300
Original Image: P01649.jpg
GT: gun
gun Detection preview by Box_v11_medium_train_SIXray_OPIXray gun Detection preview by DN_Medium_300_yolov8m_20t7_new gun Detection preview by Segmentatation_v8_medium_train_250 gun Detection preview by Segmentation_V11_large_300_train_300 gun Detection preview by Segmentation_v8_large_300_train_300
Original Image: P01650.jpg
GT: gun
gun Detection preview by Box_v11_medium_train_SIXray_OPIXray gun Detection preview by DN_Medium_300_yolov8m_20t7_new gun Detection preview by Segmentatation_v8_medium_train_250 gun Detection preview by Segmentation_V11_large_300_train_300 gun Detection preview by Segmentation_v8_large_300_train_300
Original Image: P01651.jpg
GT: gun
gun Detection preview by Box_v11_medium_train_SIXray_OPIXray No objects detected Detection preview by DN_Medium_300_yolov8m_20t7_new gun Detection preview by Segmentatation_v8_medium_train_250 gun Detection preview by Segmentation_V11_large_300_train_300 gun Detection preview by Segmentation_v8_large_300_train_300
Original Image: P01652.jpg
GT: gun
gun Detection preview by Box_v11_medium_train_SIXray_OPIXray No objects detected Detection preview by DN_Medium_300_yolov8m_20t7_new gun Detection preview by Segmentatation_v8_medium_train_250 gun Detection preview by Segmentation_V11_large_300_train_300 gun Detection preview by Segmentation_v8_large_300_train_300
Original Image: P01653.jpg
GT: gun
gun Detection preview by Box_v11_medium_train_SIXray_OPIXray No objects detected Detection preview by DN_Medium_300_yolov8m_20t7_new gun Detection preview by Segmentatation_v8_medium_train_250 gun Detection preview by Segmentation_V11_large_300_train_300 gun Detection preview by Segmentation_v8_large_300_train_300
Original Image: P01654.jpg
GT: gun
gun Detection preview by Box_v11_medium_train_SIXray_OPIXray No objects detected Detection preview by DN_Medium_300_yolov8m_20t7_new gun Detection preview by Segmentatation_v8_medium_train_250 gun Detection preview by Segmentation_V11_large_300_train_300 gun Detection preview by Segmentation_v8_large_300_train_300
Original Image: P01655.jpg
GT: gun, pliers
gun, pliers Detection preview by Box_v11_medium_train_SIXray_OPIXray No objects detected Detection preview by DN_Medium_300_yolov8m_20t7_new gun Detection preview by Segmentatation_v8_medium_train_250 gun Detection preview by Segmentation_V11_large_300_train_300 gun Detection preview by Segmentation_v8_large_300_train_300
Original Image: P01656.jpg
GT: gun, pliers
gun, pliers Detection preview by Box_v11_medium_train_SIXray_OPIXray No objects detected Detection preview by DN_Medium_300_yolov8m_20t7_new gun Detection preview by Segmentatation_v8_medium_train_250 gun Detection preview by Segmentation_V11_large_300_train_300 gun Detection preview by Segmentation_v8_large_300_train_300
Original Image: P01657.jpg
GT: gun, pliers
gun, pliers Detection preview by Box_v11_medium_train_SIXray_OPIXray No objects detected Detection preview by DN_Medium_300_yolov8m_20t7_new gun Detection preview by Segmentatation_v8_medium_train_250 gun Detection preview by Segmentation_V11_large_300_train_300 gun Detection preview by Segmentation_v8_large_300_train_300
Original Image: P01658.jpg
GT: gun, pliers
gun, pliers Detection preview by Box_v11_medium_train_SIXray_OPIXray No objects detected Detection preview by DN_Medium_300_yolov8m_20t7_new gun Detection preview by Segmentatation_v8_medium_train_250 gun Detection preview by Segmentation_V11_large_300_train_300 gun Detection preview by Segmentation_v8_large_300_train_300
Original Image: P01659.jpg
GT: gun, pliers
gun, pliers Detection preview by Box_v11_medium_train_SIXray_OPIXray gun, pliers Detection preview by DN_Medium_300_yolov8m_20t7_new gun Detection preview by Segmentatation_v8_medium_train_250 gun Detection preview by Segmentation_V11_large_300_train_300 gun Detection preview by Segmentation_v8_large_300_train_300
Original Image: P01660.jpg
GT: gun, pliers
gun, pliers Detection preview by Box_v11_medium_train_SIXray_OPIXray No objects detected Detection preview by DN_Medium_300_yolov8m_20t7_new gun Detection preview by Segmentatation_v8_medium_train_250 gun Detection preview by Segmentation_V11_large_300_train_300 gun Detection preview by Segmentation_v8_large_300_train_300
Original Image: P01661.jpg
GT: gun, pliers
gun, pliers Detection preview by Box_v11_medium_train_SIXray_OPIXray No objects detected Detection preview by DN_Medium_300_yolov8m_20t7_new gun Detection preview by Segmentatation_v8_medium_train_250 gun Detection preview by Segmentation_V11_large_300_train_300 gun Detection preview by Segmentation_v8_large_300_train_300
Original Image: P01662.jpg
GT: gun, pliers
gun, pliers Detection preview by Box_v11_medium_train_SIXray_OPIXray No objects detected Detection preview by DN_Medium_300_yolov8m_20t7_new gun Detection preview by Segmentatation_v8_medium_train_250 gun Detection preview by Segmentation_V11_large_300_train_300 gun Detection preview by Segmentation_v8_large_300_train_300
Original Image: P01663.jpg
GT: gun, pliers
gun, pliers Detection preview by Box_v11_medium_train_SIXray_OPIXray No objects detected Detection preview by DN_Medium_300_yolov8m_20t7_new gun Detection preview by Segmentatation_v8_medium_train_250 gun Detection preview by Segmentation_V11_large_300_train_300 gun Detection preview by Segmentation_v8_large_300_train_300
Original Image: P01664.jpg
GT: gun, pliers
gun, pliers Detection preview by Box_v11_medium_train_SIXray_OPIXray No objects detected Detection preview by DN_Medium_300_yolov8m_20t7_new gun Detection preview by Segmentatation_v8_medium_train_250 gun Detection preview by Segmentation_V11_large_300_train_300 gun Detection preview by Segmentation_v8_large_300_train_300
Original Image: P01665.jpg
GT: gun, pliers
gun, pliers Detection preview by Box_v11_medium_train_SIXray_OPIXray No objects detected Detection preview by DN_Medium_300_yolov8m_20t7_new gun Detection preview by Segmentatation_v8_medium_train_250 gun Detection preview by Segmentation_V11_large_300_train_300 gun Detection preview by Segmentation_v8_large_300_train_300
Original Image: P01666.jpg
GT: gun, pliers
gun, pliers Detection preview by Box_v11_medium_train_SIXray_OPIXray No objects detected Detection preview by DN_Medium_300_yolov8m_20t7_new gun Detection preview by Segmentatation_v8_medium_train_250 gun Detection preview by Segmentation_V11_large_300_train_300 gun Detection preview by Segmentation_v8_large_300_train_300
Original Image: P01667.jpg
GT: gun, pliers
gun, pliers Detection preview by Box_v11_medium_train_SIXray_OPIXray No objects detected Detection preview by DN_Medium_300_yolov8m_20t7_new gun Detection preview by Segmentatation_v8_medium_train_250 gun Detection preview by Segmentation_V11_large_300_train_300 gun Detection preview by Segmentation_v8_large_300_train_300
Original Image: P01668.jpg
GT: gun, pliers
gun, pliers Detection preview by Box_v11_medium_train_SIXray_OPIXray No objects detected Detection preview by DN_Medium_300_yolov8m_20t7_new gun Detection preview by Segmentatation_v8_medium_train_250 gun Detection preview by Segmentation_V11_large_300_train_300 gun Detection preview by Segmentation_v8_large_300_train_300
Original Image: P01669.jpg
GT: gun, pliers
gun, pliers Detection preview by Box_v11_medium_train_SIXray_OPIXray No objects detected Detection preview by DN_Medium_300_yolov8m_20t7_new gun Detection preview by Segmentatation_v8_medium_train_250 gun Detection preview by Segmentation_V11_large_300_train_300 gun Detection preview by Segmentation_v8_large_300_train_300
Original Image: P01670.jpg
GT: gun, pliers
gun, pliers Detection preview by Box_v11_medium_train_SIXray_OPIXray No objects detected Detection preview by DN_Medium_300_yolov8m_20t7_new gun Detection preview by Segmentatation_v8_medium_train_250 gun Detection preview by Segmentation_V11_large_300_train_300 gun Detection preview by Segmentation_v8_large_300_train_300
Original Image: P01671.jpg
GT: gun, pliers
gun, pliers Detection preview by Box_v11_medium_train_SIXray_OPIXray No objects detected Detection preview by DN_Medium_300_yolov8m_20t7_new gun Detection preview by Segmentatation_v8_medium_train_250 gun Detection preview by Segmentation_V11_large_300_train_300 gun Detection preview by Segmentation_v8_large_300_train_300
Original Image: P01672.jpg
GT: gun, pliers
gun, pliers Detection preview by Box_v11_medium_train_SIXray_OPIXray No objects detected Detection preview by DN_Medium_300_yolov8m_20t7_new gun Detection preview by Segmentatation_v8_medium_train_250 gun Detection preview by Segmentation_V11_large_300_train_300 gun Detection preview by Segmentation_v8_large_300_train_300
Original Image: P01673.jpg
GT: gun, pliers
gun, pliers Detection preview by Box_v11_medium_train_SIXray_OPIXray No objects detected Detection preview by DN_Medium_300_yolov8m_20t7_new gun Detection preview by Segmentatation_v8_medium_train_250 gun Detection preview by Segmentation_V11_large_300_train_300 gun Detection preview by Segmentation_v8_large_300_train_300
Original Image: P01674.jpg
GT: gun, pliers
gun, pliers Detection preview by Box_v11_medium_train_SIXray_OPIXray No objects detected Detection preview by DN_Medium_300_yolov8m_20t7_new gun Detection preview by Segmentatation_v8_medium_train_250 gun Detection preview by Segmentation_V11_large_300_train_300 gun Detection preview by Segmentation_v8_large_300_train_300
Original Image: P01675.jpg
GT: gun, pliers
gun, pliers Detection preview by Box_v11_medium_train_SIXray_OPIXray No objects detected Detection preview by DN_Medium_300_yolov8m_20t7_new gun Detection preview by Segmentatation_v8_medium_train_250 gun Detection preview by Segmentation_V11_large_300_train_300 gun Detection preview by Segmentation_v8_large_300_train_300
Original Image: P01676.jpg
GT: gun, pliers
gun, pliers Detection preview by Box_v11_medium_train_SIXray_OPIXray pliers Detection preview by DN_Medium_300_yolov8m_20t7_new gun Detection preview by Segmentatation_v8_medium_train_250 gun Detection preview by Segmentation_V11_large_300_train_300 gun Detection preview by Segmentation_v8_large_300_train_300
Original Image: P01677.jpg
GT: gun, pliers
gun, pliers Detection preview by Box_v11_medium_train_SIXray_OPIXray No objects detected Detection preview by DN_Medium_300_yolov8m_20t7_new gun Detection preview by Segmentatation_v8_medium_train_250 gun Detection preview by Segmentation_V11_large_300_train_300 gun Detection preview by Segmentation_v8_large_300_train_300
Original Image: P01678.jpg
GT: gun, pliers
gun, pliers Detection preview by Box_v11_medium_train_SIXray_OPIXray No objects detected Detection preview by DN_Medium_300_yolov8m_20t7_new gun Detection preview by Segmentatation_v8_medium_train_250 gun Detection preview by Segmentation_V11_large_300_train_300 gun Detection preview by Segmentation_v8_large_300_train_300
Original Image: P01679.jpg
GT: gun, pliers
gun, pliers Detection preview by Box_v11_medium_train_SIXray_OPIXray No objects detected Detection preview by DN_Medium_300_yolov8m_20t7_new gun Detection preview by Segmentatation_v8_medium_train_250 gun Detection preview by Segmentation_V11_large_300_train_300 gun Detection preview by Segmentation_v8_large_300_train_300
Original Image: P01680.jpg
GT: gun, pliers, wrench
gun, pliers, wrench Detection preview by Box_v11_medium_train_SIXray_OPIXray wrench Detection preview by DN_Medium_300_yolov8m_20t7_new gun, wrench Detection preview by Segmentatation_v8_medium_train_250 gun, wrench Detection preview by Segmentation_V11_large_300_train_300 gun, wrench Detection preview by Segmentation_v8_large_300_train_300
Original Image: P01681.jpg
GT: gun, pliers
gun, pliers Detection preview by Box_v11_medium_train_SIXray_OPIXray pliers Detection preview by DN_Medium_300_yolov8m_20t7_new gun Detection preview by Segmentatation_v8_medium_train_250 gun Detection preview by Segmentation_V11_large_300_train_300 gun Detection preview by Segmentation_v8_large_300_train_300
Original Image: P01682.jpg
GT: gun
gun Detection preview by Box_v11_medium_train_SIXray_OPIXray No objects detected Detection preview by DN_Medium_300_yolov8m_20t7_new gun Detection preview by Segmentatation_v8_medium_train_250 gun Detection preview by Segmentation_V11_large_300_train_300 gun Detection preview by Segmentation_v8_large_300_train_300
Original Image: P01683.jpg
GT: gun
gun Detection preview by Box_v11_medium_train_SIXray_OPIXray No objects detected Detection preview by DN_Medium_300_yolov8m_20t7_new gun Detection preview by Segmentatation_v8_medium_train_250 gun Detection preview by Segmentation_V11_large_300_train_300 gun Detection preview by Segmentation_v8_large_300_train_300
Original Image: P01684.jpg
GT: gun
gun Detection preview by Box_v11_medium_train_SIXray_OPIXray No objects detected Detection preview by DN_Medium_300_yolov8m_20t7_new gun Detection preview by Segmentatation_v8_medium_train_250 gun Detection preview by Segmentation_V11_large_300_train_300 gun Detection preview by Segmentation_v8_large_300_train_300
Original Image: P01685.jpg
GT: gun
gun Detection preview by Box_v11_medium_train_SIXray_OPIXray No objects detected Detection preview by DN_Medium_300_yolov8m_20t7_new gun, wrench Detection preview by Segmentatation_v8_medium_train_250 gun Detection preview by Segmentation_V11_large_300_train_300 gun Detection preview by Segmentation_v8_large_300_train_300
Original Image: P01686.jpg
GT: gun
gun Detection preview by Box_v11_medium_train_SIXray_OPIXray No objects detected Detection preview by DN_Medium_300_yolov8m_20t7_new gun Detection preview by Segmentatation_v8_medium_train_250 gun Detection preview by Segmentation_V11_large_300_train_300 gun Detection preview by Segmentation_v8_large_300_train_300
Original Image: P01687.jpg
GT: gun
gun Detection preview by Box_v11_medium_train_SIXray_OPIXray No objects detected Detection preview by DN_Medium_300_yolov8m_20t7_new gun Detection preview by Segmentatation_v8_medium_train_250 gun Detection preview by Segmentation_V11_large_300_train_300 gun Detection preview by Segmentation_v8_large_300_train_300
Original Image: P01688.jpg
GT: gun
gun Detection preview by Box_v11_medium_train_SIXray_OPIXray gun Detection preview by DN_Medium_300_yolov8m_20t7_new gun Detection preview by Segmentatation_v8_medium_train_250 gun Detection preview by Segmentation_V11_large_300_train_300 gun Detection preview by Segmentation_v8_large_300_train_300
Original Image: P01689.jpg
GT: gun
gun Detection preview by Box_v11_medium_train_SIXray_OPIXray gun Detection preview by DN_Medium_300_yolov8m_20t7_new gun Detection preview by Segmentatation_v8_medium_train_250 gun Detection preview by Segmentation_V11_large_300_train_300 gun Detection preview by Segmentation_v8_large_300_train_300
Original Image: P01690.jpg
GT: gun
gun Detection preview by Box_v11_medium_train_SIXray_OPIXray gun Detection preview by DN_Medium_300_yolov8m_20t7_new gun Detection preview by Segmentatation_v8_medium_train_250 gun Detection preview by Segmentation_V11_large_300_train_300 gun Detection preview by Segmentation_v8_large_300_train_300
Original Image: P01691.jpg
GT: gun
gun Detection preview by Box_v11_medium_train_SIXray_OPIXray gun Detection preview by DN_Medium_300_yolov8m_20t7_new gun Detection preview by Segmentatation_v8_medium_train_250 gun Detection preview by Segmentation_V11_large_300_train_300 gun Detection preview by Segmentation_v8_large_300_train_300
Original Image: P01692.jpg
GT: gun, pliers
gun, pliers Detection preview by Box_v11_medium_train_SIXray_OPIXray pliers Detection preview by DN_Medium_300_yolov8m_20t7_new gun Detection preview by Segmentatation_v8_medium_train_250 gun Detection preview by Segmentation_V11_large_300_train_300 gun Detection preview by Segmentation_v8_large_300_train_300
Original Image: P01693.jpg
GT: gun
gun Detection preview by Box_v11_medium_train_SIXray_OPIXray No objects detected Detection preview by DN_Medium_300_yolov8m_20t7_new gun Detection preview by Segmentatation_v8_medium_train_250 gun Detection preview by Segmentation_V11_large_300_train_300 gun Detection preview by Segmentation_v8_large_300_train_300
Original Image: P01694.jpg
GT: gun
gun Detection preview by Box_v11_medium_train_SIXray_OPIXray No objects detected Detection preview by DN_Medium_300_yolov8m_20t7_new gun Detection preview by Segmentatation_v8_medium_train_250 gun Detection preview by Segmentation_V11_large_300_train_300 gun Detection preview by Segmentation_v8_large_300_train_300
Original Image: P01695.jpg
GT: gun
gun Detection preview by Box_v11_medium_train_SIXray_OPIXray No objects detected Detection preview by DN_Medium_300_yolov8m_20t7_new gun Detection preview by Segmentatation_v8_medium_train_250 gun Detection preview by Segmentation_V11_large_300_train_300 gun Detection preview by Segmentation_v8_large_300_train_300
Original Image: P01696.jpg
GT: gun, pliers
gun, pliers Detection preview by Box_v11_medium_train_SIXray_OPIXray No objects detected Detection preview by DN_Medium_300_yolov8m_20t7_new gun Detection preview by Segmentatation_v8_medium_train_250 gun Detection preview by Segmentation_V11_large_300_train_300 gun Detection preview by Segmentation_v8_large_300_train_300
Original Image: P01697.jpg
GT: gun, pliers
gun, pliers Detection preview by Box_v11_medium_train_SIXray_OPIXray No objects detected Detection preview by DN_Medium_300_yolov8m_20t7_new gun Detection preview by Segmentatation_v8_medium_train_250 gun Detection preview by Segmentation_V11_large_300_train_300 gun Detection preview by Segmentation_v8_large_300_train_300
Original Image: P01698.jpg
GT: gun, pliers
gun, pliers Detection preview by Box_v11_medium_train_SIXray_OPIXray No objects detected Detection preview by DN_Medium_300_yolov8m_20t7_new gun Detection preview by Segmentatation_v8_medium_train_250 gun Detection preview by Segmentation_V11_large_300_train_300 gun Detection preview by Segmentation_v8_large_300_train_300
Original Image: P01699.jpg
GT: gun, pliers, wrench
gun, pliers, wrench Detection preview by Box_v11_medium_train_SIXray_OPIXray wrench Detection preview by DN_Medium_300_yolov8m_20t7_new gun, wrench Detection preview by Segmentatation_v8_medium_train_250 gun, wrench Detection preview by Segmentation_V11_large_300_train_300 gun, wrench Detection preview by Segmentation_v8_large_300_train_300
Original Image: P01700.jpg
GT: gun, pliers
gun, pliers Detection preview by Box_v11_medium_train_SIXray_OPIXray No objects detected Detection preview by DN_Medium_300_yolov8m_20t7_new gun Detection preview by Segmentatation_v8_medium_train_250 gun Detection preview by Segmentation_V11_large_300_train_300 gun Detection preview by Segmentation_v8_large_300_train_300
Original Image: P01701.jpg
GT: gun, pliers
gun, pliers Detection preview by Box_v11_medium_train_SIXray_OPIXray pliers Detection preview by DN_Medium_300_yolov8m_20t7_new gun Detection preview by Segmentatation_v8_medium_train_250 gun Detection preview by Segmentation_V11_large_300_train_300 gun Detection preview by Segmentation_v8_large_300_train_300
Original Image: P01702.jpg
GT: gun, pliers
gun, pliers Detection preview by Box_v11_medium_train_SIXray_OPIXray No objects detected Detection preview by DN_Medium_300_yolov8m_20t7_new gun Detection preview by Segmentatation_v8_medium_train_250 gun Detection preview by Segmentation_V11_large_300_train_300 gun Detection preview by Segmentation_v8_large_300_train_300
Original Image: P01703.jpg
GT: gun, pliers
gun, pliers Detection preview by Box_v11_medium_train_SIXray_OPIXray No objects detected Detection preview by DN_Medium_300_yolov8m_20t7_new gun Detection preview by Segmentatation_v8_medium_train_250 gun Detection preview by Segmentation_V11_large_300_train_300 gun Detection preview by Segmentation_v8_large_300_train_300
Original Image: P01704.jpg
GT: gun, pliers
gun, pliers Detection preview by Box_v11_medium_train_SIXray_OPIXray No objects detected Detection preview by DN_Medium_300_yolov8m_20t7_new gun Detection preview by Segmentatation_v8_medium_train_250 gun Detection preview by Segmentation_V11_large_300_train_300 gun Detection preview by Segmentation_v8_large_300_train_300
Original Image: P01705.jpg
GT: gun, pliers
gun, pliers Detection preview by Box_v11_medium_train_SIXray_OPIXray No objects detected Detection preview by DN_Medium_300_yolov8m_20t7_new gun Detection preview by Segmentatation_v8_medium_train_250 gun Detection preview by Segmentation_V11_large_300_train_300 gun Detection preview by Segmentation_v8_large_300_train_300
Original Image: P01706.jpg
GT: gun, pliers
gun, pliers Detection preview by Box_v11_medium_train_SIXray_OPIXray No objects detected Detection preview by DN_Medium_300_yolov8m_20t7_new gun Detection preview by Segmentatation_v8_medium_train_250 gun Detection preview by Segmentation_V11_large_300_train_300 gun Detection preview by Segmentation_v8_large_300_train_300
Original Image: P01707.jpg
GT: gun, pliers
gun, pliers Detection preview by Box_v11_medium_train_SIXray_OPIXray No objects detected Detection preview by DN_Medium_300_yolov8m_20t7_new gun Detection preview by Segmentatation_v8_medium_train_250 gun Detection preview by Segmentation_V11_large_300_train_300 gun Detection preview by Segmentation_v8_large_300_train_300
Original Image: P01708.jpg
GT: gun, pliers
gun, pliers Detection preview by Box_v11_medium_train_SIXray_OPIXray gun Detection preview by DN_Medium_300_yolov8m_20t7_new gun Detection preview by Segmentatation_v8_medium_train_250 gun Detection preview by Segmentation_V11_large_300_train_300 gun Detection preview by Segmentation_v8_large_300_train_300
Original Image: P01709.jpg
GT: gun, pliers
gun, pliers Detection preview by Box_v11_medium_train_SIXray_OPIXray pliers Detection preview by DN_Medium_300_yolov8m_20t7_new gun Detection preview by Segmentatation_v8_medium_train_250 gun Detection preview by Segmentation_V11_large_300_train_300 gun Detection preview by Segmentation_v8_large_300_train_300
Original Image: P01710.jpg
GT: gun, pliers
gun, pliers Detection preview by Box_v11_medium_train_SIXray_OPIXray pliers Detection preview by DN_Medium_300_yolov8m_20t7_new gun Detection preview by Segmentatation_v8_medium_train_250 gun Detection preview by Segmentation_V11_large_300_train_300 gun Detection preview by Segmentation_v8_large_300_train_300
Original Image: P01711.jpg
GT: gun, pliers
gun, pliers Detection preview by Box_v11_medium_train_SIXray_OPIXray pliers Detection preview by DN_Medium_300_yolov8m_20t7_new gun Detection preview by Segmentatation_v8_medium_train_250 gun Detection preview by Segmentation_V11_large_300_train_300 gun Detection preview by Segmentation_v8_large_300_train_300
Original Image: P01712.jpg
GT: gun, pliers
gun, pliers Detection preview by Box_v11_medium_train_SIXray_OPIXray pliers Detection preview by DN_Medium_300_yolov8m_20t7_new gun Detection preview by Segmentatation_v8_medium_train_250 gun Detection preview by Segmentation_V11_large_300_train_300 gun Detection preview by Segmentation_v8_large_300_train_300
Original Image: P01713.jpg
GT: gun, pliers
gun, pliers Detection preview by Box_v11_medium_train_SIXray_OPIXray pliers Detection preview by DN_Medium_300_yolov8m_20t7_new gun Detection preview by Segmentatation_v8_medium_train_250 gun Detection preview by Segmentation_V11_large_300_train_300 gun Detection preview by Segmentation_v8_large_300_train_300
Original Image: P01714.jpg
GT: gun, pliers
gun, pliers Detection preview by Box_v11_medium_train_SIXray_OPIXray pliers Detection preview by DN_Medium_300_yolov8m_20t7_new gun Detection preview by Segmentatation_v8_medium_train_250 gun Detection preview by Segmentation_V11_large_300_train_300 gun Detection preview by Segmentation_v8_large_300_train_300
Original Image: P01715.jpg
GT: gun, pliers
gun, pliers Detection preview by Box_v11_medium_train_SIXray_OPIXray No objects detected Detection preview by DN_Medium_300_yolov8m_20t7_new gun Detection preview by Segmentatation_v8_medium_train_250 gun Detection preview by Segmentation_V11_large_300_train_300 gun Detection preview by Segmentation_v8_large_300_train_300
Original Image: P01716.jpg
GT: gun, pliers
gun, pliers Detection preview by Box_v11_medium_train_SIXray_OPIXray pliers Detection preview by DN_Medium_300_yolov8m_20t7_new gun Detection preview by Segmentatation_v8_medium_train_250 gun Detection preview by Segmentation_V11_large_300_train_300 gun Detection preview by Segmentation_v8_large_300_train_300
Original Image: P01717.jpg
GT: gun, pliers
gun, pliers Detection preview by Box_v11_medium_train_SIXray_OPIXray pliers Detection preview by DN_Medium_300_yolov8m_20t7_new gun Detection preview by Segmentatation_v8_medium_train_250 gun Detection preview by Segmentation_V11_large_300_train_300 gun Detection preview by Segmentation_v8_large_300_train_300
Original Image: P01718.jpg
GT: gun, pliers
gun, pliers Detection preview by Box_v11_medium_train_SIXray_OPIXray pliers Detection preview by DN_Medium_300_yolov8m_20t7_new gun Detection preview by Segmentatation_v8_medium_train_250 gun Detection preview by Segmentation_V11_large_300_train_300 gun Detection preview by Segmentation_v8_large_300_train_300
Original Image: P01719.jpg
GT: gun, pliers
gun, pliers Detection preview by Box_v11_medium_train_SIXray_OPIXray pliers Detection preview by DN_Medium_300_yolov8m_20t7_new gun Detection preview by Segmentatation_v8_medium_train_250 gun Detection preview by Segmentation_V11_large_300_train_300 gun Detection preview by Segmentation_v8_large_300_train_300
Original Image: P01720.jpg
GT: gun, pliers
gun, pliers Detection preview by Box_v11_medium_train_SIXray_OPIXray pliers Detection preview by DN_Medium_300_yolov8m_20t7_new gun Detection preview by Segmentatation_v8_medium_train_250 gun Detection preview by Segmentation_V11_large_300_train_300 gun Detection preview by Segmentation_v8_large_300_train_300
Original Image: P01721.jpg
GT: gun, pliers
gun, pliers Detection preview by Box_v11_medium_train_SIXray_OPIXray No objects detected Detection preview by DN_Medium_300_yolov8m_20t7_new gun Detection preview by Segmentatation_v8_medium_train_250 gun Detection preview by Segmentation_V11_large_300_train_300 gun Detection preview by Segmentation_v8_large_300_train_300
Original Image: P01722.jpg
GT: gun, pliers
gun, pliers Detection preview by Box_v11_medium_train_SIXray_OPIXray pliers Detection preview by DN_Medium_300_yolov8m_20t7_new gun Detection preview by Segmentatation_v8_medium_train_250 gun Detection preview by Segmentation_V11_large_300_train_300 gun Detection preview by Segmentation_v8_large_300_train_300
Original Image: P01723.jpg
GT: gun, pliers
gun, pliers Detection preview by Box_v11_medium_train_SIXray_OPIXray pliers Detection preview by DN_Medium_300_yolov8m_20t7_new gun Detection preview by Segmentatation_v8_medium_train_250 gun Detection preview by Segmentation_V11_large_300_train_300 gun Detection preview by Segmentation_v8_large_300_train_300
Original Image: P01724.jpg
GT: gun, pliers
gun, pliers Detection preview by Box_v11_medium_train_SIXray_OPIXray gun, pliers Detection preview by DN_Medium_300_yolov8m_20t7_new gun Detection preview by Segmentatation_v8_medium_train_250 gun Detection preview by Segmentation_V11_large_300_train_300 gun Detection preview by Segmentation_v8_large_300_train_300
Original Image: P01725.jpg
GT: gun, pliers
gun, pliers Detection preview by Box_v11_medium_train_SIXray_OPIXray gun, pliers Detection preview by DN_Medium_300_yolov8m_20t7_new gun Detection preview by Segmentatation_v8_medium_train_250 gun Detection preview by Segmentation_V11_large_300_train_300 gun Detection preview by Segmentation_v8_large_300_train_300
Original Image: P01726.jpg
GT: gun, pliers
gun, pliers Detection preview by Box_v11_medium_train_SIXray_OPIXray gun, pliers Detection preview by DN_Medium_300_yolov8m_20t7_new gun Detection preview by Segmentatation_v8_medium_train_250 gun Detection preview by Segmentation_V11_large_300_train_300 gun Detection preview by Segmentation_v8_large_300_train_300
Original Image: P01727.jpg
GT: gun, pliers
gun, pliers Detection preview by Box_v11_medium_train_SIXray_OPIXray gun, pliers Detection preview by DN_Medium_300_yolov8m_20t7_new gun Detection preview by Segmentatation_v8_medium_train_250 gun Detection preview by Segmentation_V11_large_300_train_300 gun Detection preview by Segmentation_v8_large_300_train_300
Original Image: P01728.jpg
GT: gun, pliers
gun, pliers Detection preview by Box_v11_medium_train_SIXray_OPIXray gun, pliers Detection preview by DN_Medium_300_yolov8m_20t7_new gun Detection preview by Segmentatation_v8_medium_train_250 gun Detection preview by Segmentation_V11_large_300_train_300 gun Detection preview by Segmentation_v8_large_300_train_300
Original Image: P01729.jpg
GT: gun, pliers, wrench
gun, pliers, wrench Detection preview by Box_v11_medium_train_SIXray_OPIXray No objects detected Detection preview by DN_Medium_300_yolov8m_20t7_new gun, wrench Detection preview by Segmentatation_v8_medium_train_250 gun, wrench Detection preview by Segmentation_V11_large_300_train_300 gun, wrench Detection preview by Segmentation_v8_large_300_train_300
Original Image: P01730.jpg
GT: gun, pliers
gun, pliers Detection preview by Box_v11_medium_train_SIXray_OPIXray gun, pliers Detection preview by DN_Medium_300_yolov8m_20t7_new gun Detection preview by Segmentatation_v8_medium_train_250 gun Detection preview by Segmentation_V11_large_300_train_300 gun Detection preview by Segmentation_v8_large_300_train_300
Original Image: P01731.jpg
GT: gun, pliers
gun, pliers Detection preview by Box_v11_medium_train_SIXray_OPIXray pliers Detection preview by DN_Medium_300_yolov8m_20t7_new gun Detection preview by Segmentatation_v8_medium_train_250 gun Detection preview by Segmentation_V11_large_300_train_300 gun Detection preview by Segmentation_v8_large_300_train_300
Original Image: P01732.jpg
GT: gun, pliers
gun, pliers Detection preview by Box_v11_medium_train_SIXray_OPIXray gun, pliers Detection preview by DN_Medium_300_yolov8m_20t7_new gun Detection preview by Segmentatation_v8_medium_train_250 gun Detection preview by Segmentation_V11_large_300_train_300 gun Detection preview by Segmentation_v8_large_300_train_300
Original Image: P01733.jpg
GT: gun, pliers
gun, pliers Detection preview by Box_v11_medium_train_SIXray_OPIXray pliers Detection preview by DN_Medium_300_yolov8m_20t7_new gun Detection preview by Segmentatation_v8_medium_train_250 gun Detection preview by Segmentation_V11_large_300_train_300 gun Detection preview by Segmentation_v8_large_300_train_300
Original Image: P01734.jpg
GT: gun, pliers
gun, pliers Detection preview by Box_v11_medium_train_SIXray_OPIXray pliers Detection preview by DN_Medium_300_yolov8m_20t7_new gun Detection preview by Segmentatation_v8_medium_train_250 gun Detection preview by Segmentation_V11_large_300_train_300 gun Detection preview by Segmentation_v8_large_300_train_300
Original Image: P01735.jpg
GT: gun, pliers
gun, pliers Detection preview by Box_v11_medium_train_SIXray_OPIXray pliers Detection preview by DN_Medium_300_yolov8m_20t7_new gun Detection preview by Segmentatation_v8_medium_train_250 gun Detection preview by Segmentation_V11_large_300_train_300 gun Detection preview by Segmentation_v8_large_300_train_300
Original Image: P01736.jpg
GT: gun, pliers
gun, pliers Detection preview by Box_v11_medium_train_SIXray_OPIXray pliers Detection preview by DN_Medium_300_yolov8m_20t7_new gun Detection preview by Segmentatation_v8_medium_train_250 gun Detection preview by Segmentation_V11_large_300_train_300 gun Detection preview by Segmentation_v8_large_300_train_300
Original Image: P01737.jpg
GT: gun, pliers
gun, pliers Detection preview by Box_v11_medium_train_SIXray_OPIXray gun, pliers Detection preview by DN_Medium_300_yolov8m_20t7_new gun Detection preview by Segmentatation_v8_medium_train_250 gun Detection preview by Segmentation_V11_large_300_train_300 gun Detection preview by Segmentation_v8_large_300_train_300
Original Image: P01738.jpg
GT: gun, pliers
gun, pliers Detection preview by Box_v11_medium_train_SIXray_OPIXray gun, pliers Detection preview by DN_Medium_300_yolov8m_20t7_new gun Detection preview by Segmentatation_v8_medium_train_250 gun Detection preview by Segmentation_V11_large_300_train_300 gun Detection preview by Segmentation_v8_large_300_train_300
Original Image: P01739.jpg
GT: gun, pliers
gun, pliers Detection preview by Box_v11_medium_train_SIXray_OPIXray gun, pliers Detection preview by DN_Medium_300_yolov8m_20t7_new gun Detection preview by Segmentatation_v8_medium_train_250 gun Detection preview by Segmentation_V11_large_300_train_300 gun Detection preview by Segmentation_v8_large_300_train_300
Original Image: P01740.jpg
GT: gun, pliers
gun, pliers Detection preview by Box_v11_medium_train_SIXray_OPIXray pliers Detection preview by DN_Medium_300_yolov8m_20t7_new gun Detection preview by Segmentatation_v8_medium_train_250 gun Detection preview by Segmentation_V11_large_300_train_300 gun Detection preview by Segmentation_v8_large_300_train_300
Original Image: P01741.jpg
GT: gun
gun Detection preview by Box_v11_medium_train_SIXray_OPIXray gun Detection preview by DN_Medium_300_yolov8m_20t7_new gun Detection preview by Segmentatation_v8_medium_train_250 gun Detection preview by Segmentation_V11_large_300_train_300 gun Detection preview by Segmentation_v8_large_300_train_300
Original Image: P01742.jpg
GT: gun
gun Detection preview by Box_v11_medium_train_SIXray_OPIXray No objects detected Detection preview by DN_Medium_300_yolov8m_20t7_new gun Detection preview by Segmentatation_v8_medium_train_250 gun Detection preview by Segmentation_V11_large_300_train_300 gun Detection preview by Segmentation_v8_large_300_train_300
Original Image: P01743.jpg
GT: gun
gun Detection preview by Box_v11_medium_train_SIXray_OPIXray gun Detection preview by DN_Medium_300_yolov8m_20t7_new gun Detection preview by Segmentatation_v8_medium_train_250 gun Detection preview by Segmentation_V11_large_300_train_300 gun Detection preview by Segmentation_v8_large_300_train_300
Original Image: P01744.jpg
GT: gun, pliers, wrench
gun, pliers, wrench Detection preview by Box_v11_medium_train_SIXray_OPIXray scissor Detection preview by DN_Medium_300_yolov8m_20t7_new gun, wrench Detection preview by Segmentatation_v8_medium_train_250 gun, wrench Detection preview by Segmentation_V11_large_300_train_300 gun, wrench Detection preview by Segmentation_v8_large_300_train_300
Original Image: P01745.jpg
GT: gun
gun Detection preview by Box_v11_medium_train_SIXray_OPIXray gun Detection preview by DN_Medium_300_yolov8m_20t7_new gun Detection preview by Segmentatation_v8_medium_train_250 gun Detection preview by Segmentation_V11_large_300_train_300 gun Detection preview by Segmentation_v8_large_300_train_300
Original Image: P01746.jpg
GT: gun, pliers, wrench
gun, pliers, wrench Detection preview by Box_v11_medium_train_SIXray_OPIXray wrench Detection preview by DN_Medium_300_yolov8m_20t7_new gun, wrench Detection preview by Segmentatation_v8_medium_train_250 gun, wrench Detection preview by Segmentation_V11_large_300_train_300 gun, wrench Detection preview by Segmentation_v8_large_300_train_300
Original Image: P01747.jpg
GT: gun
gun Detection preview by Box_v11_medium_train_SIXray_OPIXray gun Detection preview by DN_Medium_300_yolov8m_20t7_new gun Detection preview by Segmentatation_v8_medium_train_250 gun Detection preview by Segmentation_V11_large_300_train_300 gun Detection preview by Segmentation_v8_large_300_train_300
Original Image: P01748.jpg
GT: gun, pliers, wrench
gun, pliers, wrench Detection preview by Box_v11_medium_train_SIXray_OPIXray wrench Detection preview by DN_Medium_300_yolov8m_20t7_new gun, wrench Detection preview by Segmentatation_v8_medium_train_250 gun, wrench Detection preview by Segmentation_V11_large_300_train_300 gun, wrench Detection preview by Segmentation_v8_large_300_train_300
Original Image: P01749.jpg
GT: gun
gun Detection preview by Box_v11_medium_train_SIXray_OPIXray gun Detection preview by DN_Medium_300_yolov8m_20t7_new gun Detection preview by Segmentatation_v8_medium_train_250 gun Detection preview by Segmentation_V11_large_300_train_300 gun Detection preview by Segmentation_v8_large_300_train_300
Original Image: P01750.jpg
GT: gun
gun Detection preview by Box_v11_medium_train_SIXray_OPIXray No objects detected Detection preview by DN_Medium_300_yolov8m_20t7_new gun Detection preview by Segmentatation_v8_medium_train_250 gun Detection preview by Segmentation_V11_large_300_train_300 gun Detection preview by Segmentation_v8_large_300_train_300
Original Image: P01751.jpg
GT: gun
gun Detection preview by Box_v11_medium_train_SIXray_OPIXray No objects detected Detection preview by DN_Medium_300_yolov8m_20t7_new gun Detection preview by Segmentatation_v8_medium_train_250 gun Detection preview by Segmentation_V11_large_300_train_300 gun Detection preview by Segmentation_v8_large_300_train_300
Original Image: P01752.jpg
GT: gun
gun Detection preview by Box_v11_medium_train_SIXray_OPIXray No objects detected Detection preview by DN_Medium_300_yolov8m_20t7_new gun Detection preview by Segmentatation_v8_medium_train_250 gun Detection preview by Segmentation_V11_large_300_train_300 gun Detection preview by Segmentation_v8_large_300_train_300
Original Image: P01753.jpg
GT: gun
gun Detection preview by Box_v11_medium_train_SIXray_OPIXray No objects detected Detection preview by DN_Medium_300_yolov8m_20t7_new gun Detection preview by Segmentatation_v8_medium_train_250 gun Detection preview by Segmentation_V11_large_300_train_300 gun Detection preview by Segmentation_v8_large_300_train_300
Original Image: P01754.jpg
GT: gun
gun Detection preview by Box_v11_medium_train_SIXray_OPIXray gun Detection preview by DN_Medium_300_yolov8m_20t7_new gun Detection preview by Segmentatation_v8_medium_train_250 gun Detection preview by Segmentation_V11_large_300_train_300 gun Detection preview by Segmentation_v8_large_300_train_300
Original Image: P01755.jpg
GT: gun
gun Detection preview by Box_v11_medium_train_SIXray_OPIXray gun Detection preview by DN_Medium_300_yolov8m_20t7_new gun Detection preview by Segmentatation_v8_medium_train_250 gun Detection preview by Segmentation_V11_large_300_train_300 gun Detection preview by Segmentation_v8_large_300_train_300
Original Image: P01756.jpg
GT: gun
gun Detection preview by Box_v11_medium_train_SIXray_OPIXray No objects detected Detection preview by DN_Medium_300_yolov8m_20t7_new gun Detection preview by Segmentatation_v8_medium_train_250 gun Detection preview by Segmentation_V11_large_300_train_300 gun Detection preview by Segmentation_v8_large_300_train_300
Original Image: P01757.jpg
GT: gun
gun Detection preview by Box_v11_medium_train_SIXray_OPIXray gun Detection preview by DN_Medium_300_yolov8m_20t7_new gun Detection preview by Segmentatation_v8_medium_train_250 gun Detection preview by Segmentation_V11_large_300_train_300 gun Detection preview by Segmentation_v8_large_300_train_300
Original Image: P01758.jpg
GT: gun
gun Detection preview by Box_v11_medium_train_SIXray_OPIXray gun Detection preview by DN_Medium_300_yolov8m_20t7_new gun Detection preview by Segmentatation_v8_medium_train_250 gun Detection preview by Segmentation_V11_large_300_train_300 gun Detection preview by Segmentation_v8_large_300_train_300
Original Image: P01759.jpg
GT: gun
gun Detection preview by Box_v11_medium_train_SIXray_OPIXray gun Detection preview by DN_Medium_300_yolov8m_20t7_new gun Detection preview by Segmentatation_v8_medium_train_250 gun Detection preview by Segmentation_V11_large_300_train_300 gun Detection preview by Segmentation_v8_large_300_train_300
Original Image: P01760.jpg
GT: gun
gun Detection preview by Box_v11_medium_train_SIXray_OPIXray gun Detection preview by DN_Medium_300_yolov8m_20t7_new gun Detection preview by Segmentatation_v8_medium_train_250 gun Detection preview by Segmentation_V11_large_300_train_300 gun Detection preview by Segmentation_v8_large_300_train_300
Original Image: P01761.jpg
GT: gun
gun Detection preview by Box_v11_medium_train_SIXray_OPIXray No objects detected Detection preview by DN_Medium_300_yolov8m_20t7_new gun Detection preview by Segmentatation_v8_medium_train_250 gun Detection preview by Segmentation_V11_large_300_train_300 gun Detection preview by Segmentation_v8_large_300_train_300
Original Image: P01762.jpg
GT: gun
gun Detection preview by Box_v11_medium_train_SIXray_OPIXray No objects detected Detection preview by DN_Medium_300_yolov8m_20t7_new gun Detection preview by Segmentatation_v8_medium_train_250 gun Detection preview by Segmentation_V11_large_300_train_300 gun Detection preview by Segmentation_v8_large_300_train_300
Original Image: P01763.jpg
GT: gun
gun Detection preview by Box_v11_medium_train_SIXray_OPIXray No objects detected Detection preview by DN_Medium_300_yolov8m_20t7_new gun Detection preview by Segmentatation_v8_medium_train_250 gun Detection preview by Segmentation_V11_large_300_train_300 gun Detection preview by Segmentation_v8_large_300_train_300
Original Image: P01764.jpg
GT: gun
gun Detection preview by Box_v11_medium_train_SIXray_OPIXray gun Detection preview by DN_Medium_300_yolov8m_20t7_new gun Detection preview by Segmentatation_v8_medium_train_250 gun Detection preview by Segmentation_V11_large_300_train_300 gun Detection preview by Segmentation_v8_large_300_train_300
Original Image: P01765.jpg
GT: gun
gun Detection preview by Box_v11_medium_train_SIXray_OPIXray gun Detection preview by DN_Medium_300_yolov8m_20t7_new gun Detection preview by Segmentatation_v8_medium_train_250 gun Detection preview by Segmentation_V11_large_300_train_300 gun Detection preview by Segmentation_v8_large_300_train_300
Original Image: P01766.jpg
GT: gun
gun Detection preview by Box_v11_medium_train_SIXray_OPIXray gun Detection preview by DN_Medium_300_yolov8m_20t7_new gun Detection preview by Segmentatation_v8_medium_train_250 gun Detection preview by Segmentation_V11_large_300_train_300 gun Detection preview by Segmentation_v8_large_300_train_300
Original Image: P01767.jpg
GT: gun
gun Detection preview by Box_v11_medium_train_SIXray_OPIXray gun Detection preview by DN_Medium_300_yolov8m_20t7_new gun Detection preview by Segmentatation_v8_medium_train_250 gun Detection preview by Segmentation_V11_large_300_train_300 gun Detection preview by Segmentation_v8_large_300_train_300
Original Image: P01768.jpg
GT: gun
gun Detection preview by Box_v11_medium_train_SIXray_OPIXray gun Detection preview by DN_Medium_300_yolov8m_20t7_new gun Detection preview by Segmentatation_v8_medium_train_250 gun Detection preview by Segmentation_V11_large_300_train_300 gun Detection preview by Segmentation_v8_large_300_train_300
Original Image: P01769.jpg
GT: gun
gun Detection preview by Box_v11_medium_train_SIXray_OPIXray gun Detection preview by DN_Medium_300_yolov8m_20t7_new gun Detection preview by Segmentatation_v8_medium_train_250 gun Detection preview by Segmentation_V11_large_300_train_300 gun Detection preview by Segmentation_v8_large_300_train_300
Original Image: P01770.jpg
GT: gun
gun Detection preview by Box_v11_medium_train_SIXray_OPIXray gun Detection preview by DN_Medium_300_yolov8m_20t7_new gun Detection preview by Segmentatation_v8_medium_train_250 gun Detection preview by Segmentation_V11_large_300_train_300 gun Detection preview by Segmentation_v8_large_300_train_300
Original Image: P01771.jpg
GT: gun
gun Detection preview by Box_v11_medium_train_SIXray_OPIXray gun Detection preview by DN_Medium_300_yolov8m_20t7_new gun Detection preview by Segmentatation_v8_medium_train_250 gun Detection preview by Segmentation_V11_large_300_train_300 gun Detection preview by Segmentation_v8_large_300_train_300
Original Image: P01772.jpg
GT: gun
gun Detection preview by Box_v11_medium_train_SIXray_OPIXray gun Detection preview by DN_Medium_300_yolov8m_20t7_new gun Detection preview by Segmentatation_v8_medium_train_250 gun Detection preview by Segmentation_V11_large_300_train_300 gun Detection preview by Segmentation_v8_large_300_train_300
Original Image: P01773.jpg
GT: gun
gun Detection preview by Box_v11_medium_train_SIXray_OPIXray gun Detection preview by DN_Medium_300_yolov8m_20t7_new gun Detection preview by Segmentatation_v8_medium_train_250 gun Detection preview by Segmentation_V11_large_300_train_300 gun Detection preview by Segmentation_v8_large_300_train_300
Original Image: P01774.jpg
GT: gun
gun Detection preview by Box_v11_medium_train_SIXray_OPIXray gun Detection preview by DN_Medium_300_yolov8m_20t7_new gun Detection preview by Segmentatation_v8_medium_train_250 gun Detection preview by Segmentation_V11_large_300_train_300 gun Detection preview by Segmentation_v8_large_300_train_300
Original Image: P01775.jpg
GT: gun
gun Detection preview by Box_v11_medium_train_SIXray_OPIXray gun Detection preview by DN_Medium_300_yolov8m_20t7_new gun Detection preview by Segmentatation_v8_medium_train_250 gun Detection preview by Segmentation_V11_large_300_train_300 gun Detection preview by Segmentation_v8_large_300_train_300
Original Image: P01776.jpg
GT: gun
gun Detection preview by Box_v11_medium_train_SIXray_OPIXray gun Detection preview by DN_Medium_300_yolov8m_20t7_new gun Detection preview by Segmentatation_v8_medium_train_250 gun Detection preview by Segmentation_V11_large_300_train_300 gun Detection preview by Segmentation_v8_large_300_train_300
Original Image: P01777.jpg
GT: gun
gun Detection preview by Box_v11_medium_train_SIXray_OPIXray gun Detection preview by DN_Medium_300_yolov8m_20t7_new gun Detection preview by Segmentatation_v8_medium_train_250 gun Detection preview by Segmentation_V11_large_300_train_300 gun Detection preview by Segmentation_v8_large_300_train_300
Original Image: P01778.jpg
GT: gun
gun Detection preview by Box_v11_medium_train_SIXray_OPIXray No objects detected Detection preview by DN_Medium_300_yolov8m_20t7_new gun Detection preview by Segmentatation_v8_medium_train_250 gun Detection preview by Segmentation_V11_large_300_train_300 gun Detection preview by Segmentation_v8_large_300_train_300
Original Image: P01779.jpg
GT: gun
gun Detection preview by Box_v11_medium_train_SIXray_OPIXray No objects detected Detection preview by DN_Medium_300_yolov8m_20t7_new gun Detection preview by Segmentatation_v8_medium_train_250 gun Detection preview by Segmentation_V11_large_300_train_300 gun Detection preview by Segmentation_v8_large_300_train_300
Original Image: P01780.jpg
GT: gun
gun Detection preview by Box_v11_medium_train_SIXray_OPIXray No objects detected Detection preview by DN_Medium_300_yolov8m_20t7_new gun Detection preview by Segmentatation_v8_medium_train_250 gun Detection preview by Segmentation_V11_large_300_train_300 gun Detection preview by Segmentation_v8_large_300_train_300
Original Image: P01781.jpg
GT: gun, pliers
gun, pliers Detection preview by Box_v11_medium_train_SIXray_OPIXray gun Detection preview by DN_Medium_300_yolov8m_20t7_new gun Detection preview by Segmentatation_v8_medium_train_250 gun Detection preview by Segmentation_V11_large_300_train_300 gun Detection preview by Segmentation_v8_large_300_train_300
Original Image: P01782.jpg
GT: gun, pliers
gun, pliers Detection preview by Box_v11_medium_train_SIXray_OPIXray gun Detection preview by DN_Medium_300_yolov8m_20t7_new gun Detection preview by Segmentatation_v8_medium_train_250 gun Detection preview by Segmentation_V11_large_300_train_300 gun Detection preview by Segmentation_v8_large_300_train_300
Original Image: P01783.jpg
GT: gun
gun Detection preview by Box_v11_medium_train_SIXray_OPIXray No objects detected Detection preview by DN_Medium_300_yolov8m_20t7_new gun Detection preview by Segmentatation_v8_medium_train_250 gun Detection preview by Segmentation_V11_large_300_train_300 gun Detection preview by Segmentation_v8_large_300_train_300
Original Image: P01784.jpg
GT: gun
gun Detection preview by Box_v11_medium_train_SIXray_OPIXray No objects detected Detection preview by DN_Medium_300_yolov8m_20t7_new gun Detection preview by Segmentatation_v8_medium_train_250 gun Detection preview by Segmentation_V11_large_300_train_300 gun Detection preview by Segmentation_v8_large_300_train_300
Original Image: P01785.jpg
GT: gun
gun Detection preview by Box_v11_medium_train_SIXray_OPIXray No objects detected Detection preview by DN_Medium_300_yolov8m_20t7_new gun Detection preview by Segmentatation_v8_medium_train_250 gun Detection preview by Segmentation_V11_large_300_train_300 gun Detection preview by Segmentation_v8_large_300_train_300
Original Image: P01786.jpg
GT: gun
gun Detection preview by Box_v11_medium_train_SIXray_OPIXray No objects detected Detection preview by DN_Medium_300_yolov8m_20t7_new gun Detection preview by Segmentatation_v8_medium_train_250 gun Detection preview by Segmentation_V11_large_300_train_300 gun Detection preview by Segmentation_v8_large_300_train_300
Original Image: P01787.jpg
GT: gun, pliers
gun, pliers Detection preview by Box_v11_medium_train_SIXray_OPIXray gun, pliers Detection preview by DN_Medium_300_yolov8m_20t7_new gun Detection preview by Segmentatation_v8_medium_train_250 gun Detection preview by Segmentation_V11_large_300_train_300 gun Detection preview by Segmentation_v8_large_300_train_300
Original Image: P01788.jpg
GT: gun
gun Detection preview by Box_v11_medium_train_SIXray_OPIXray gun Detection preview by DN_Medium_300_yolov8m_20t7_new gun Detection preview by Segmentatation_v8_medium_train_250 gun Detection preview by Segmentation_V11_large_300_train_300 gun Detection preview by Segmentation_v8_large_300_train_300
Original Image: P01789.jpg
GT: gun
gun Detection preview by Box_v11_medium_train_SIXray_OPIXray gun Detection preview by DN_Medium_300_yolov8m_20t7_new gun Detection preview by Segmentatation_v8_medium_train_250 gun Detection preview by Segmentation_V11_large_300_train_300 gun Detection preview by Segmentation_v8_large_300_train_300
Original Image: P01790.jpg
GT: gun
gun Detection preview by Box_v11_medium_train_SIXray_OPIXray gun Detection preview by DN_Medium_300_yolov8m_20t7_new gun Detection preview by Segmentatation_v8_medium_train_250 gun Detection preview by Segmentation_V11_large_300_train_300 gun Detection preview by Segmentation_v8_large_300_train_300
Original Image: P01791.jpg
GT: gun
gun Detection preview by Box_v11_medium_train_SIXray_OPIXray gun Detection preview by DN_Medium_300_yolov8m_20t7_new gun Detection preview by Segmentatation_v8_medium_train_250 gun Detection preview by Segmentation_V11_large_300_train_300 gun Detection preview by Segmentation_v8_large_300_train_300
Original Image: P01792.jpg
GT: gun
gun Detection preview by Box_v11_medium_train_SIXray_OPIXray No objects detected Detection preview by DN_Medium_300_yolov8m_20t7_new gun Detection preview by Segmentatation_v8_medium_train_250 gun Detection preview by Segmentation_V11_large_300_train_300 gun Detection preview by Segmentation_v8_large_300_train_300
Original Image: P01793.jpg
GT: gun
gun Detection preview by Box_v11_medium_train_SIXray_OPIXray No objects detected Detection preview by DN_Medium_300_yolov8m_20t7_new gun Detection preview by Segmentatation_v8_medium_train_250 gun Detection preview by Segmentation_V11_large_300_train_300 gun Detection preview by Segmentation_v8_large_300_train_300
Original Image: P01794.jpg
GT: gun
gun Detection preview by Box_v11_medium_train_SIXray_OPIXray No objects detected Detection preview by DN_Medium_300_yolov8m_20t7_new gun Detection preview by Segmentatation_v8_medium_train_250 gun Detection preview by Segmentation_V11_large_300_train_300 gun Detection preview by Segmentation_v8_large_300_train_300
Original Image: P01795.jpg
GT: gun
gun Detection preview by Box_v11_medium_train_SIXray_OPIXray No objects detected Detection preview by DN_Medium_300_yolov8m_20t7_new gun Detection preview by Segmentatation_v8_medium_train_250 gun Detection preview by Segmentation_V11_large_300_train_300 gun Detection preview by Segmentation_v8_large_300_train_300
Original Image: P01796.jpg
GT: gun
gun Detection preview by Box_v11_medium_train_SIXray_OPIXray No objects detected Detection preview by DN_Medium_300_yolov8m_20t7_new gun Detection preview by Segmentatation_v8_medium_train_250 gun Detection preview by Segmentation_V11_large_300_train_300 gun Detection preview by Segmentation_v8_large_300_train_300
Original Image: P01797.jpg
GT: gun
gun Detection preview by Box_v11_medium_train_SIXray_OPIXray No objects detected Detection preview by DN_Medium_300_yolov8m_20t7_new gun Detection preview by Segmentatation_v8_medium_train_250 gun Detection preview by Segmentation_V11_large_300_train_300 gun Detection preview by Segmentation_v8_large_300_train_300
Original Image: P01798.jpg
GT: gun
gun Detection preview by Box_v11_medium_train_SIXray_OPIXray No objects detected Detection preview by DN_Medium_300_yolov8m_20t7_new gun Detection preview by Segmentatation_v8_medium_train_250 gun Detection preview by Segmentation_V11_large_300_train_300 gun Detection preview by Segmentation_v8_large_300_train_300
Original Image: P01799.jpg
GT: gun
gun Detection preview by Box_v11_medium_train_SIXray_OPIXray gun Detection preview by DN_Medium_300_yolov8m_20t7_new gun Detection preview by Segmentatation_v8_medium_train_250 gun Detection preview by Segmentation_V11_large_300_train_300 gun Detection preview by Segmentation_v8_large_300_train_300
Original Image: P01800.jpg
GT: gun
gun Detection preview by Box_v11_medium_train_SIXray_OPIXray gun Detection preview by DN_Medium_300_yolov8m_20t7_new gun Detection preview by Segmentatation_v8_medium_train_250 gun Detection preview by Segmentation_V11_large_300_train_300 gun Detection preview by Segmentation_v8_large_300_train_300
Original Image: P01801.jpg
GT: gun
gun Detection preview by Box_v11_medium_train_SIXray_OPIXray gun Detection preview by DN_Medium_300_yolov8m_20t7_new gun Detection preview by Segmentatation_v8_medium_train_250 gun Detection preview by Segmentation_V11_large_300_train_300 gun Detection preview by Segmentation_v8_large_300_train_300
Original Image: P01802.jpg
GT: gun
gun Detection preview by Box_v11_medium_train_SIXray_OPIXray No objects detected Detection preview by DN_Medium_300_yolov8m_20t7_new gun Detection preview by Segmentatation_v8_medium_train_250 gun Detection preview by Segmentation_V11_large_300_train_300 gun Detection preview by Segmentation_v8_large_300_train_300
Original Image: P01803.jpg
GT: gun
gun Detection preview by Box_v11_medium_train_SIXray_OPIXray No objects detected Detection preview by DN_Medium_300_yolov8m_20t7_new gun Detection preview by Segmentatation_v8_medium_train_250 gun Detection preview by Segmentation_V11_large_300_train_300 gun Detection preview by Segmentation_v8_large_300_train_300
Original Image: P01804.jpg
GT: gun
gun Detection preview by Box_v11_medium_train_SIXray_OPIXray gun Detection preview by DN_Medium_300_yolov8m_20t7_new gun Detection preview by Segmentatation_v8_medium_train_250 gun Detection preview by Segmentation_V11_large_300_train_300 gun Detection preview by Segmentation_v8_large_300_train_300
Original Image: P01805.jpg
GT: gun
gun Detection preview by Box_v11_medium_train_SIXray_OPIXray knife Detection preview by DN_Medium_300_yolov8m_20t7_new gun Detection preview by Segmentatation_v8_medium_train_250 gun Detection preview by Segmentation_V11_large_300_train_300 gun Detection preview by Segmentation_v8_large_300_train_300
Original Image: P01806.jpg
GT: gun
gun Detection preview by Box_v11_medium_train_SIXray_OPIXray No objects detected Detection preview by DN_Medium_300_yolov8m_20t7_new gun Detection preview by Segmentatation_v8_medium_train_250 gun Detection preview by Segmentation_V11_large_300_train_300 gun Detection preview by Segmentation_v8_large_300_train_300
Original Image: P01807.jpg
GT: gun
gun Detection preview by Box_v11_medium_train_SIXray_OPIXray No objects detected Detection preview by DN_Medium_300_yolov8m_20t7_new gun Detection preview by Segmentatation_v8_medium_train_250 gun Detection preview by Segmentation_V11_large_300_train_300 gun Detection preview by Segmentation_v8_large_300_train_300
Original Image: P01808.jpg
GT: gun
gun Detection preview by Box_v11_medium_train_SIXray_OPIXray No objects detected Detection preview by DN_Medium_300_yolov8m_20t7_new gun Detection preview by Segmentatation_v8_medium_train_250 gun Detection preview by Segmentation_V11_large_300_train_300 gun Detection preview by Segmentation_v8_large_300_train_300
Original Image: P01809.jpg
GT: gun
gun Detection preview by Box_v11_medium_train_SIXray_OPIXray No objects detected Detection preview by DN_Medium_300_yolov8m_20t7_new gun Detection preview by Segmentatation_v8_medium_train_250 gun Detection preview by Segmentation_V11_large_300_train_300 gun Detection preview by Segmentation_v8_large_300_train_300
Original Image: P01810.jpg
GT: gun
gun Detection preview by Box_v11_medium_train_SIXray_OPIXray No objects detected Detection preview by DN_Medium_300_yolov8m_20t7_new gun Detection preview by Segmentatation_v8_medium_train_250 gun Detection preview by Segmentation_V11_large_300_train_300 gun Detection preview by Segmentation_v8_large_300_train_300
Original Image: P01811.jpg
GT: gun
gun Detection preview by Box_v11_medium_train_SIXray_OPIXray No objects detected Detection preview by DN_Medium_300_yolov8m_20t7_new gun Detection preview by Segmentatation_v8_medium_train_250 gun Detection preview by Segmentation_V11_large_300_train_300 gun Detection preview by Segmentation_v8_large_300_train_300
Original Image: P01812.jpg
GT: gun
gun Detection preview by Box_v11_medium_train_SIXray_OPIXray gun Detection preview by DN_Medium_300_yolov8m_20t7_new gun Detection preview by Segmentatation_v8_medium_train_250 gun Detection preview by Segmentation_V11_large_300_train_300 gun Detection preview by Segmentation_v8_large_300_train_300
Original Image: P01813.jpg
GT: gun
gun Detection preview by Box_v11_medium_train_SIXray_OPIXray gun Detection preview by DN_Medium_300_yolov8m_20t7_new gun Detection preview by Segmentatation_v8_medium_train_250 gun Detection preview by Segmentation_V11_large_300_train_300 gun Detection preview by Segmentation_v8_large_300_train_300
Original Image: P01814.jpg
GT: gun
gun Detection preview by Box_v11_medium_train_SIXray_OPIXray gun Detection preview by DN_Medium_300_yolov8m_20t7_new gun Detection preview by Segmentatation_v8_medium_train_250 gun Detection preview by Segmentation_V11_large_300_train_300 gun Detection preview by Segmentation_v8_large_300_train_300
Original Image: P01815.jpg
GT: gun
gun Detection preview by Box_v11_medium_train_SIXray_OPIXray gun Detection preview by DN_Medium_300_yolov8m_20t7_new gun Detection preview by Segmentatation_v8_medium_train_250 gun Detection preview by Segmentation_V11_large_300_train_300 gun Detection preview by Segmentation_v8_large_300_train_300
Original Image: P01816.jpg
GT: gun
gun Detection preview by Box_v11_medium_train_SIXray_OPIXray gun Detection preview by DN_Medium_300_yolov8m_20t7_new gun Detection preview by Segmentatation_v8_medium_train_250 gun Detection preview by Segmentation_V11_large_300_train_300 gun Detection preview by Segmentation_v8_large_300_train_300
Original Image: P01817.jpg
GT: gun
gun Detection preview by Box_v11_medium_train_SIXray_OPIXray gun Detection preview by DN_Medium_300_yolov8m_20t7_new gun Detection preview by Segmentatation_v8_medium_train_250 gun Detection preview by Segmentation_V11_large_300_train_300 gun Detection preview by Segmentation_v8_large_300_train_300
Original Image: P01818.jpg
GT: gun
gun Detection preview by Box_v11_medium_train_SIXray_OPIXray gun Detection preview by DN_Medium_300_yolov8m_20t7_new gun Detection preview by Segmentatation_v8_medium_train_250 gun Detection preview by Segmentation_V11_large_300_train_300 gun Detection preview by Segmentation_v8_large_300_train_300
Original Image: P01819.jpg
GT: gun
gun Detection preview by Box_v11_medium_train_SIXray_OPIXray No objects detected Detection preview by DN_Medium_300_yolov8m_20t7_new gun Detection preview by Segmentatation_v8_medium_train_250 gun Detection preview by Segmentation_V11_large_300_train_300 gun Detection preview by Segmentation_v8_large_300_train_300
Original Image: P01820.jpg
GT: gun
gun Detection preview by Box_v11_medium_train_SIXray_OPIXray gun Detection preview by DN_Medium_300_yolov8m_20t7_new gun Detection preview by Segmentatation_v8_medium_train_250 gun Detection preview by Segmentation_V11_large_300_train_300 gun Detection preview by Segmentation_v8_large_300_train_300
Original Image: P01821.jpg
GT: gun
gun Detection preview by Box_v11_medium_train_SIXray_OPIXray No objects detected Detection preview by DN_Medium_300_yolov8m_20t7_new gun Detection preview by Segmentatation_v8_medium_train_250 gun Detection preview by Segmentation_V11_large_300_train_300 gun Detection preview by Segmentation_v8_large_300_train_300
Original Image: P01822.jpg
GT: gun
gun Detection preview by Box_v11_medium_train_SIXray_OPIXray gun Detection preview by DN_Medium_300_yolov8m_20t7_new gun Detection preview by Segmentatation_v8_medium_train_250 gun Detection preview by Segmentation_V11_large_300_train_300 gun Detection preview by Segmentation_v8_large_300_train_300
Original Image: P01823.jpg
GT: gun
gun Detection preview by Box_v11_medium_train_SIXray_OPIXray gun Detection preview by DN_Medium_300_yolov8m_20t7_new gun Detection preview by Segmentatation_v8_medium_train_250 gun Detection preview by Segmentation_V11_large_300_train_300 gun Detection preview by Segmentation_v8_large_300_train_300
Original Image: P01824.jpg
GT: gun, pliers
gun, pliers Detection preview by Box_v11_medium_train_SIXray_OPIXray gun Detection preview by DN_Medium_300_yolov8m_20t7_new gun Detection preview by Segmentatation_v8_medium_train_250 gun Detection preview by Segmentation_V11_large_300_train_300 gun Detection preview by Segmentation_v8_large_300_train_300
Original Image: P01825.jpg
GT: gun, pliers
gun, pliers Detection preview by Box_v11_medium_train_SIXray_OPIXray gun Detection preview by DN_Medium_300_yolov8m_20t7_new gun Detection preview by Segmentatation_v8_medium_train_250 gun Detection preview by Segmentation_V11_large_300_train_300 gun Detection preview by Segmentation_v8_large_300_train_300
Original Image: P01826.jpg
GT: gun, pliers
gun, pliers Detection preview by Box_v11_medium_train_SIXray_OPIXray gun Detection preview by DN_Medium_300_yolov8m_20t7_new gun Detection preview by Segmentatation_v8_medium_train_250 gun Detection preview by Segmentation_V11_large_300_train_300 gun Detection preview by Segmentation_v8_large_300_train_300
Original Image: P01827.jpg
GT: gun, pliers
gun, pliers Detection preview by Box_v11_medium_train_SIXray_OPIXray gun Detection preview by DN_Medium_300_yolov8m_20t7_new gun Detection preview by Segmentatation_v8_medium_train_250 gun Detection preview by Segmentation_V11_large_300_train_300 gun Detection preview by Segmentation_v8_large_300_train_300
Original Image: P01828.jpg
GT: gun, pliers
gun, pliers Detection preview by Box_v11_medium_train_SIXray_OPIXray gun Detection preview by DN_Medium_300_yolov8m_20t7_new gun Detection preview by Segmentatation_v8_medium_train_250 gun Detection preview by Segmentation_V11_large_300_train_300 gun Detection preview by Segmentation_v8_large_300_train_300
Original Image: P01829.jpg
GT: gun, pliers
gun, pliers Detection preview by Box_v11_medium_train_SIXray_OPIXray gun Detection preview by DN_Medium_300_yolov8m_20t7_new gun Detection preview by Segmentatation_v8_medium_train_250 gun Detection preview by Segmentation_V11_large_300_train_300 gun Detection preview by Segmentation_v8_large_300_train_300
Original Image: P01830.jpg
GT: gun, pliers
gun, pliers Detection preview by Box_v11_medium_train_SIXray_OPIXray gun Detection preview by DN_Medium_300_yolov8m_20t7_new gun Detection preview by Segmentatation_v8_medium_train_250 gun Detection preview by Segmentation_V11_large_300_train_300 gun Detection preview by Segmentation_v8_large_300_train_300
Original Image: P01831.jpg
GT: gun, pliers
gun, pliers Detection preview by Box_v11_medium_train_SIXray_OPIXray gun Detection preview by DN_Medium_300_yolov8m_20t7_new gun Detection preview by Segmentatation_v8_medium_train_250 gun Detection preview by Segmentation_V11_large_300_train_300 gun Detection preview by Segmentation_v8_large_300_train_300
Original Image: P01832.jpg
GT: gun, pliers
gun, pliers Detection preview by Box_v11_medium_train_SIXray_OPIXray gun Detection preview by DN_Medium_300_yolov8m_20t7_new gun Detection preview by Segmentatation_v8_medium_train_250 gun Detection preview by Segmentation_V11_large_300_train_300 gun Detection preview by Segmentation_v8_large_300_train_300
Original Image: P01833.jpg
GT: gun, pliers
gun, pliers Detection preview by Box_v11_medium_train_SIXray_OPIXray gun Detection preview by DN_Medium_300_yolov8m_20t7_new gun Detection preview by Segmentatation_v8_medium_train_250 gun Detection preview by Segmentation_V11_large_300_train_300 gun Detection preview by Segmentation_v8_large_300_train_300
Original Image: P01834.jpg
GT: gun, pliers
gun, pliers Detection preview by Box_v11_medium_train_SIXray_OPIXray No objects detected Detection preview by DN_Medium_300_yolov8m_20t7_new gun Detection preview by Segmentatation_v8_medium_train_250 gun Detection preview by Segmentation_V11_large_300_train_300 gun Detection preview by Segmentation_v8_large_300_train_300
Original Image: P01835.jpg
GT: gun, pliers
gun, pliers Detection preview by Box_v11_medium_train_SIXray_OPIXray gun Detection preview by DN_Medium_300_yolov8m_20t7_new gun Detection preview by Segmentatation_v8_medium_train_250 gun Detection preview by Segmentation_V11_large_300_train_300 gun Detection preview by Segmentation_v8_large_300_train_300
Original Image: P01836.jpg
GT: gun, pliers
gun, pliers Detection preview by Box_v11_medium_train_SIXray_OPIXray gun Detection preview by DN_Medium_300_yolov8m_20t7_new gun Detection preview by Segmentatation_v8_medium_train_250 gun Detection preview by Segmentation_V11_large_300_train_300 gun Detection preview by Segmentation_v8_large_300_train_300
Original Image: P01837.jpg
GT: gun, pliers
gun, pliers Detection preview by Box_v11_medium_train_SIXray_OPIXray gun, pliers Detection preview by DN_Medium_300_yolov8m_20t7_new gun Detection preview by Segmentatation_v8_medium_train_250 gun Detection preview by Segmentation_V11_large_300_train_300 gun Detection preview by Segmentation_v8_large_300_train_300
Original Image: P01838.jpg
GT: gun, pliers
gun, pliers Detection preview by Box_v11_medium_train_SIXray_OPIXray gun, pliers Detection preview by DN_Medium_300_yolov8m_20t7_new gun Detection preview by Segmentatation_v8_medium_train_250 gun Detection preview by Segmentation_V11_large_300_train_300 gun Detection preview by Segmentation_v8_large_300_train_300
Original Image: P01839.jpg
GT: gun, pliers
gun, pliers Detection preview by Box_v11_medium_train_SIXray_OPIXray gun Detection preview by DN_Medium_300_yolov8m_20t7_new gun Detection preview by Segmentatation_v8_medium_train_250 gun Detection preview by Segmentation_V11_large_300_train_300 gun Detection preview by Segmentation_v8_large_300_train_300
Original Image: P01840.jpg
GT: gun, pliers
gun, pliers Detection preview by Box_v11_medium_train_SIXray_OPIXray No objects detected Detection preview by DN_Medium_300_yolov8m_20t7_new gun Detection preview by Segmentatation_v8_medium_train_250 gun Detection preview by Segmentation_V11_large_300_train_300 gun Detection preview by Segmentation_v8_large_300_train_300
Original Image: P01841.jpg
GT: gun, pliers
gun, pliers Detection preview by Box_v11_medium_train_SIXray_OPIXray No objects detected Detection preview by DN_Medium_300_yolov8m_20t7_new gun Detection preview by Segmentatation_v8_medium_train_250 gun Detection preview by Segmentation_V11_large_300_train_300 gun Detection preview by Segmentation_v8_large_300_train_300
Original Image: P01842.jpg
GT: gun, pliers
gun, pliers Detection preview by Box_v11_medium_train_SIXray_OPIXray No objects detected Detection preview by DN_Medium_300_yolov8m_20t7_new gun Detection preview by Segmentatation_v8_medium_train_250 gun Detection preview by Segmentation_V11_large_300_train_300 gun Detection preview by Segmentation_v8_large_300_train_300
Original Image: P01843.jpg
GT: gun, pliers
gun, pliers Detection preview by Box_v11_medium_train_SIXray_OPIXray No objects detected Detection preview by DN_Medium_300_yolov8m_20t7_new gun Detection preview by Segmentatation_v8_medium_train_250 gun Detection preview by Segmentation_V11_large_300_train_300 gun Detection preview by Segmentation_v8_large_300_train_300
Original Image: P01844.jpg
GT: gun, pliers
gun, pliers Detection preview by Box_v11_medium_train_SIXray_OPIXray No objects detected Detection preview by DN_Medium_300_yolov8m_20t7_new gun Detection preview by Segmentatation_v8_medium_train_250 gun Detection preview by Segmentation_V11_large_300_train_300 gun Detection preview by Segmentation_v8_large_300_train_300
Original Image: P01845.jpg
GT: gun, pliers
gun, pliers Detection preview by Box_v11_medium_train_SIXray_OPIXray pliers Detection preview by DN_Medium_300_yolov8m_20t7_new gun Detection preview by Segmentatation_v8_medium_train_250 gun Detection preview by Segmentation_V11_large_300_train_300 gun Detection preview by Segmentation_v8_large_300_train_300
Original Image: P01846.jpg
GT: gun, pliers
gun, pliers Detection preview by Box_v11_medium_train_SIXray_OPIXray pliers Detection preview by DN_Medium_300_yolov8m_20t7_new gun Detection preview by Segmentatation_v8_medium_train_250 gun Detection preview by Segmentation_V11_large_300_train_300 gun Detection preview by Segmentation_v8_large_300_train_300
Original Image: P01847.jpg
GT: gun, pliers
gun, pliers Detection preview by Box_v11_medium_train_SIXray_OPIXray No objects detected Detection preview by DN_Medium_300_yolov8m_20t7_new gun Detection preview by Segmentatation_v8_medium_train_250 gun Detection preview by Segmentation_V11_large_300_train_300 gun Detection preview by Segmentation_v8_large_300_train_300
Original Image: P01848.jpg
GT: gun, pliers
gun, pliers Detection preview by Box_v11_medium_train_SIXray_OPIXray No objects detected Detection preview by DN_Medium_300_yolov8m_20t7_new gun Detection preview by Segmentatation_v8_medium_train_250 gun Detection preview by Segmentation_V11_large_300_train_300 gun Detection preview by Segmentation_v8_large_300_train_300
Original Image: P01849.jpg
GT: gun, pliers
gun, pliers Detection preview by Box_v11_medium_train_SIXray_OPIXray No objects detected Detection preview by DN_Medium_300_yolov8m_20t7_new gun Detection preview by Segmentatation_v8_medium_train_250 gun Detection preview by Segmentation_V11_large_300_train_300 gun Detection preview by Segmentation_v8_large_300_train_300
Original Image: P01850.jpg
GT: gun, pliers
gun, pliers Detection preview by Box_v11_medium_train_SIXray_OPIXray No objects detected Detection preview by DN_Medium_300_yolov8m_20t7_new gun Detection preview by Segmentatation_v8_medium_train_250 gun Detection preview by Segmentation_V11_large_300_train_300 gun Detection preview by Segmentation_v8_large_300_train_300
Original Image: P01851.jpg
GT: gun, pliers
gun, pliers Detection preview by Box_v11_medium_train_SIXray_OPIXray No objects detected Detection preview by DN_Medium_300_yolov8m_20t7_new gun Detection preview by Segmentatation_v8_medium_train_250 gun Detection preview by Segmentation_V11_large_300_train_300 gun Detection preview by Segmentation_v8_large_300_train_300
Original Image: P01852.jpg
GT: gun, pliers
gun, pliers Detection preview by Box_v11_medium_train_SIXray_OPIXray No objects detected Detection preview by DN_Medium_300_yolov8m_20t7_new gun Detection preview by Segmentatation_v8_medium_train_250 gun Detection preview by Segmentation_V11_large_300_train_300 gun Detection preview by Segmentation_v8_large_300_train_300
Original Image: P01853.jpg
GT: gun, pliers
gun, pliers Detection preview by Box_v11_medium_train_SIXray_OPIXray pliers Detection preview by DN_Medium_300_yolov8m_20t7_new gun Detection preview by Segmentatation_v8_medium_train_250 gun Detection preview by Segmentation_V11_large_300_train_300 gun Detection preview by Segmentation_v8_large_300_train_300
Original Image: P01854.jpg
GT: gun, pliers
gun, pliers Detection preview by Box_v11_medium_train_SIXray_OPIXray pliers Detection preview by DN_Medium_300_yolov8m_20t7_new gun Detection preview by Segmentatation_v8_medium_train_250 gun Detection preview by Segmentation_V11_large_300_train_300 gun Detection preview by Segmentation_v8_large_300_train_300
Original Image: P01855.jpg
GT: gun
gun Detection preview by Box_v11_medium_train_SIXray_OPIXray No objects detected Detection preview by DN_Medium_300_yolov8m_20t7_new gun Detection preview by Segmentatation_v8_medium_train_250 gun Detection preview by Segmentation_V11_large_300_train_300 gun Detection preview by Segmentation_v8_large_300_train_300
Original Image: P01856.jpg
GT: gun
gun Detection preview by Box_v11_medium_train_SIXray_OPIXray No objects detected Detection preview by DN_Medium_300_yolov8m_20t7_new gun Detection preview by Segmentatation_v8_medium_train_250 gun Detection preview by Segmentation_V11_large_300_train_300 gun Detection preview by Segmentation_v8_large_300_train_300
Original Image: P01857.jpg
GT: gun
gun Detection preview by Box_v11_medium_train_SIXray_OPIXray No objects detected Detection preview by DN_Medium_300_yolov8m_20t7_new gun Detection preview by Segmentatation_v8_medium_train_250 gun Detection preview by Segmentation_V11_large_300_train_300 gun Detection preview by Segmentation_v8_large_300_train_300
Original Image: P01858.jpg
GT: gun
gun Detection preview by Box_v11_medium_train_SIXray_OPIXray No objects detected Detection preview by DN_Medium_300_yolov8m_20t7_new gun Detection preview by Segmentatation_v8_medium_train_250 gun Detection preview by Segmentation_V11_large_300_train_300 gun Detection preview by Segmentation_v8_large_300_train_300
Original Image: P01859.jpg
GT: gun
gun Detection preview by Box_v11_medium_train_SIXray_OPIXray No objects detected Detection preview by DN_Medium_300_yolov8m_20t7_new gun Detection preview by Segmentatation_v8_medium_train_250 gun Detection preview by Segmentation_V11_large_300_train_300 gun Detection preview by Segmentation_v8_large_300_train_300
Original Image: P01860.jpg
GT: gun
gun Detection preview by Box_v11_medium_train_SIXray_OPIXray No objects detected Detection preview by DN_Medium_300_yolov8m_20t7_new gun Detection preview by Segmentatation_v8_medium_train_250 gun Detection preview by Segmentation_V11_large_300_train_300 gun Detection preview by Segmentation_v8_large_300_train_300
Original Image: P01861.jpg
GT: gun
gun Detection preview by Box_v11_medium_train_SIXray_OPIXray No objects detected Detection preview by DN_Medium_300_yolov8m_20t7_new gun Detection preview by Segmentatation_v8_medium_train_250 gun Detection preview by Segmentation_V11_large_300_train_300 gun Detection preview by Segmentation_v8_large_300_train_300
Original Image: P01862.jpg
GT: gun
gun Detection preview by Box_v11_medium_train_SIXray_OPIXray No objects detected Detection preview by DN_Medium_300_yolov8m_20t7_new gun Detection preview by Segmentatation_v8_medium_train_250 gun Detection preview by Segmentation_V11_large_300_train_300 gun Detection preview by Segmentation_v8_large_300_train_300
Original Image: P01863.jpg
GT: gun
gun Detection preview by Box_v11_medium_train_SIXray_OPIXray No objects detected Detection preview by DN_Medium_300_yolov8m_20t7_new gun Detection preview by Segmentatation_v8_medium_train_250 gun Detection preview by Segmentation_V11_large_300_train_300 gun Detection preview by Segmentation_v8_large_300_train_300
Original Image: P01864.jpg
GT: gun
gun Detection preview by Box_v11_medium_train_SIXray_OPIXray No objects detected Detection preview by DN_Medium_300_yolov8m_20t7_new gun Detection preview by Segmentatation_v8_medium_train_250 gun Detection preview by Segmentation_V11_large_300_train_300 gun Detection preview by Segmentation_v8_large_300_train_300
Original Image: P01865.jpg
GT: gun
gun Detection preview by Box_v11_medium_train_SIXray_OPIXray No objects detected Detection preview by DN_Medium_300_yolov8m_20t7_new gun Detection preview by Segmentatation_v8_medium_train_250 gun Detection preview by Segmentation_V11_large_300_train_300 gun Detection preview by Segmentation_v8_large_300_train_300
Original Image: P01866.jpg
GT: gun
gun Detection preview by Box_v11_medium_train_SIXray_OPIXray No objects detected Detection preview by DN_Medium_300_yolov8m_20t7_new gun Detection preview by Segmentatation_v8_medium_train_250 gun Detection preview by Segmentation_V11_large_300_train_300 gun Detection preview by Segmentation_v8_large_300_train_300
Original Image: P01867.jpg
GT: gun
gun Detection preview by Box_v11_medium_train_SIXray_OPIXray No objects detected Detection preview by DN_Medium_300_yolov8m_20t7_new gun Detection preview by Segmentatation_v8_medium_train_250 gun Detection preview by Segmentation_V11_large_300_train_300 gun Detection preview by Segmentation_v8_large_300_train_300
Original Image: P01868.jpg
GT: gun
gun Detection preview by Box_v11_medium_train_SIXray_OPIXray No objects detected Detection preview by DN_Medium_300_yolov8m_20t7_new gun Detection preview by Segmentatation_v8_medium_train_250 gun Detection preview by Segmentation_V11_large_300_train_300 gun Detection preview by Segmentation_v8_large_300_train_300
Original Image: P01869.jpg
GT: gun
gun Detection preview by Box_v11_medium_train_SIXray_OPIXray No objects detected Detection preview by DN_Medium_300_yolov8m_20t7_new gun Detection preview by Segmentatation_v8_medium_train_250 gun Detection preview by Segmentation_V11_large_300_train_300 gun Detection preview by Segmentation_v8_large_300_train_300
Original Image: P01870.jpg
GT: gun
gun Detection preview by Box_v11_medium_train_SIXray_OPIXray No objects detected Detection preview by DN_Medium_300_yolov8m_20t7_new gun Detection preview by Segmentatation_v8_medium_train_250 gun Detection preview by Segmentation_V11_large_300_train_300 gun Detection preview by Segmentation_v8_large_300_train_300
Original Image: P01871.jpg
GT: gun
gun Detection preview by Box_v11_medium_train_SIXray_OPIXray No objects detected Detection preview by DN_Medium_300_yolov8m_20t7_new gun Detection preview by Segmentatation_v8_medium_train_250 gun Detection preview by Segmentation_V11_large_300_train_300 gun Detection preview by Segmentation_v8_large_300_train_300
Original Image: P01872.jpg
GT: gun
gun Detection preview by Box_v11_medium_train_SIXray_OPIXray No objects detected Detection preview by DN_Medium_300_yolov8m_20t7_new gun Detection preview by Segmentatation_v8_medium_train_250 gun Detection preview by Segmentation_V11_large_300_train_300 gun Detection preview by Segmentation_v8_large_300_train_300
Original Image: P01873.jpg
GT: gun
gun Detection preview by Box_v11_medium_train_SIXray_OPIXray No objects detected Detection preview by DN_Medium_300_yolov8m_20t7_new gun Detection preview by Segmentatation_v8_medium_train_250 gun Detection preview by Segmentation_V11_large_300_train_300 gun Detection preview by Segmentation_v8_large_300_train_300
Original Image: P01874.jpg
GT: gun
gun Detection preview by Box_v11_medium_train_SIXray_OPIXray No objects detected Detection preview by DN_Medium_300_yolov8m_20t7_new gun Detection preview by Segmentatation_v8_medium_train_250 gun Detection preview by Segmentation_V11_large_300_train_300 gun Detection preview by Segmentation_v8_large_300_train_300
Original Image: P01875.jpg
GT: gun
gun Detection preview by Box_v11_medium_train_SIXray_OPIXray No objects detected Detection preview by DN_Medium_300_yolov8m_20t7_new gun Detection preview by Segmentatation_v8_medium_train_250 gun Detection preview by Segmentation_V11_large_300_train_300 gun Detection preview by Segmentation_v8_large_300_train_300
Original Image: P01876.jpg
GT: gun
gun Detection preview by Box_v11_medium_train_SIXray_OPIXray No objects detected Detection preview by DN_Medium_300_yolov8m_20t7_new gun Detection preview by Segmentatation_v8_medium_train_250 gun Detection preview by Segmentation_V11_large_300_train_300 gun Detection preview by Segmentation_v8_large_300_train_300
Original Image: P01877.jpg
GT: gun
gun Detection preview by Box_v11_medium_train_SIXray_OPIXray No objects detected Detection preview by DN_Medium_300_yolov8m_20t7_new gun Detection preview by Segmentatation_v8_medium_train_250 gun Detection preview by Segmentation_V11_large_300_train_300 gun Detection preview by Segmentation_v8_large_300_train_300
Original Image: P01878.jpg
GT: gun
gun Detection preview by Box_v11_medium_train_SIXray_OPIXray No objects detected Detection preview by DN_Medium_300_yolov8m_20t7_new gun Detection preview by Segmentatation_v8_medium_train_250 gun Detection preview by Segmentation_V11_large_300_train_300 gun Detection preview by Segmentation_v8_large_300_train_300
Original Image: P01879.jpg
GT: gun
gun Detection preview by Box_v11_medium_train_SIXray_OPIXray No objects detected Detection preview by DN_Medium_300_yolov8m_20t7_new gun Detection preview by Segmentatation_v8_medium_train_250 gun Detection preview by Segmentation_V11_large_300_train_300 gun Detection preview by Segmentation_v8_large_300_train_300
Original Image: P01880.jpg
GT: gun
gun Detection preview by Box_v11_medium_train_SIXray_OPIXray No objects detected Detection preview by DN_Medium_300_yolov8m_20t7_new gun Detection preview by Segmentatation_v8_medium_train_250 gun Detection preview by Segmentation_V11_large_300_train_300 gun Detection preview by Segmentation_v8_large_300_train_300
Original Image: P01881.jpg
GT: gun
gun Detection preview by Box_v11_medium_train_SIXray_OPIXray No objects detected Detection preview by DN_Medium_300_yolov8m_20t7_new gun Detection preview by Segmentatation_v8_medium_train_250 gun Detection preview by Segmentation_V11_large_300_train_300 gun Detection preview by Segmentation_v8_large_300_train_300
Original Image: P01882.jpg
GT: gun
gun Detection preview by Box_v11_medium_train_SIXray_OPIXray No objects detected Detection preview by DN_Medium_300_yolov8m_20t7_new gun Detection preview by Segmentatation_v8_medium_train_250 gun Detection preview by Segmentation_V11_large_300_train_300 gun Detection preview by Segmentation_v8_large_300_train_300
Original Image: P01883.jpg
GT: gun
gun Detection preview by Box_v11_medium_train_SIXray_OPIXray No objects detected Detection preview by DN_Medium_300_yolov8m_20t7_new gun Detection preview by Segmentatation_v8_medium_train_250 gun Detection preview by Segmentation_V11_large_300_train_300 gun Detection preview by Segmentation_v8_large_300_train_300
Original Image: P01884.jpg
GT: gun
gun Detection preview by Box_v11_medium_train_SIXray_OPIXray No objects detected Detection preview by DN_Medium_300_yolov8m_20t7_new gun Detection preview by Segmentatation_v8_medium_train_250 gun Detection preview by Segmentation_V11_large_300_train_300 gun Detection preview by Segmentation_v8_large_300_train_300
Original Image: P01885.jpg
GT: gun
gun Detection preview by Box_v11_medium_train_SIXray_OPIXray No objects detected Detection preview by DN_Medium_300_yolov8m_20t7_new gun Detection preview by Segmentatation_v8_medium_train_250 gun Detection preview by Segmentation_V11_large_300_train_300 gun Detection preview by Segmentation_v8_large_300_train_300
Original Image: P01886.jpg
GT: gun
gun Detection preview by Box_v11_medium_train_SIXray_OPIXray No objects detected Detection preview by DN_Medium_300_yolov8m_20t7_new gun Detection preview by Segmentatation_v8_medium_train_250 gun Detection preview by Segmentation_V11_large_300_train_300 gun Detection preview by Segmentation_v8_large_300_train_300
Original Image: P01887.jpg
GT: gun
gun Detection preview by Box_v11_medium_train_SIXray_OPIXray No objects detected Detection preview by DN_Medium_300_yolov8m_20t7_new gun Detection preview by Segmentatation_v8_medium_train_250 gun Detection preview by Segmentation_V11_large_300_train_300 gun Detection preview by Segmentation_v8_large_300_train_300
Original Image: P01888.jpg
GT: gun
gun Detection preview by Box_v11_medium_train_SIXray_OPIXray No objects detected Detection preview by DN_Medium_300_yolov8m_20t7_new gun Detection preview by Segmentatation_v8_medium_train_250 gun Detection preview by Segmentation_V11_large_300_train_300 gun Detection preview by Segmentation_v8_large_300_train_300
Original Image: P01889.jpg
GT: gun
gun Detection preview by Box_v11_medium_train_SIXray_OPIXray No objects detected Detection preview by DN_Medium_300_yolov8m_20t7_new gun Detection preview by Segmentatation_v8_medium_train_250 gun Detection preview by Segmentation_V11_large_300_train_300 gun Detection preview by Segmentation_v8_large_300_train_300
Original Image: P01890.jpg
GT: gun
gun Detection preview by Box_v11_medium_train_SIXray_OPIXray No objects detected Detection preview by DN_Medium_300_yolov8m_20t7_new gun Detection preview by Segmentatation_v8_medium_train_250 gun Detection preview by Segmentation_V11_large_300_train_300 gun Detection preview by Segmentation_v8_large_300_train_300
Original Image: P01891.jpg
GT: gun
gun Detection preview by Box_v11_medium_train_SIXray_OPIXray No objects detected Detection preview by DN_Medium_300_yolov8m_20t7_new gun Detection preview by Segmentatation_v8_medium_train_250 gun Detection preview by Segmentation_V11_large_300_train_300 gun Detection preview by Segmentation_v8_large_300_train_300
Original Image: P01892.jpg
GT: gun
gun Detection preview by Box_v11_medium_train_SIXray_OPIXray No objects detected Detection preview by DN_Medium_300_yolov8m_20t7_new gun Detection preview by Segmentatation_v8_medium_train_250 gun Detection preview by Segmentation_V11_large_300_train_300 gun Detection preview by Segmentation_v8_large_300_train_300
Original Image: P01893.jpg
GT: gun
gun Detection preview by Box_v11_medium_train_SIXray_OPIXray No objects detected Detection preview by DN_Medium_300_yolov8m_20t7_new gun Detection preview by Segmentatation_v8_medium_train_250 gun Detection preview by Segmentation_V11_large_300_train_300 gun Detection preview by Segmentation_v8_large_300_train_300
Original Image: P01894.jpg
GT: gun
gun Detection preview by Box_v11_medium_train_SIXray_OPIXray No objects detected Detection preview by DN_Medium_300_yolov8m_20t7_new gun Detection preview by Segmentatation_v8_medium_train_250 gun Detection preview by Segmentation_V11_large_300_train_300 gun Detection preview by Segmentation_v8_large_300_train_300
Original Image: P01895.jpg
GT: gun
gun Detection preview by Box_v11_medium_train_SIXray_OPIXray No objects detected Detection preview by DN_Medium_300_yolov8m_20t7_new gun Detection preview by Segmentatation_v8_medium_train_250 gun Detection preview by Segmentation_V11_large_300_train_300 gun Detection preview by Segmentation_v8_large_300_train_300
Original Image: P01896.jpg
GT: gun
gun Detection preview by Box_v11_medium_train_SIXray_OPIXray No objects detected Detection preview by DN_Medium_300_yolov8m_20t7_new gun Detection preview by Segmentatation_v8_medium_train_250 gun Detection preview by Segmentation_V11_large_300_train_300 gun Detection preview by Segmentation_v8_large_300_train_300
Original Image: P01897.jpg
GT: gun
gun Detection preview by Box_v11_medium_train_SIXray_OPIXray gun Detection preview by DN_Medium_300_yolov8m_20t7_new gun Detection preview by Segmentatation_v8_medium_train_250 gun Detection preview by Segmentation_V11_large_300_train_300 gun Detection preview by Segmentation_v8_large_300_train_300
Original Image: P01898.jpg
GT: gun
gun Detection preview by Box_v11_medium_train_SIXray_OPIXray gun Detection preview by DN_Medium_300_yolov8m_20t7_new gun Detection preview by Segmentatation_v8_medium_train_250 gun Detection preview by Segmentation_V11_large_300_train_300 gun Detection preview by Segmentation_v8_large_300_train_300
Original Image: P01899.jpg
GT: gun
gun Detection preview by Box_v11_medium_train_SIXray_OPIXray No objects detected Detection preview by DN_Medium_300_yolov8m_20t7_new gun Detection preview by Segmentatation_v8_medium_train_250 gun Detection preview by Segmentation_V11_large_300_train_300 gun Detection preview by Segmentation_v8_large_300_train_300
Original Image: P01900.jpg
GT: gun
gun Detection preview by Box_v11_medium_train_SIXray_OPIXray No objects detected Detection preview by DN_Medium_300_yolov8m_20t7_new gun Detection preview by Segmentatation_v8_medium_train_250 gun Detection preview by Segmentation_V11_large_300_train_300 gun Detection preview by Segmentation_v8_large_300_train_300
Original Image: P01901.jpg
GT: gun
gun Detection preview by Box_v11_medium_train_SIXray_OPIXray No objects detected Detection preview by DN_Medium_300_yolov8m_20t7_new gun Detection preview by Segmentatation_v8_medium_train_250 gun Detection preview by Segmentation_V11_large_300_train_300 gun Detection preview by Segmentation_v8_large_300_train_300
Original Image: P01902.jpg
GT: gun
gun Detection preview by Box_v11_medium_train_SIXray_OPIXray No objects detected Detection preview by DN_Medium_300_yolov8m_20t7_new gun Detection preview by Segmentatation_v8_medium_train_250 gun Detection preview by Segmentation_V11_large_300_train_300 gun Detection preview by Segmentation_v8_large_300_train_300
Original Image: P01903.jpg
GT: gun
gun Detection preview by Box_v11_medium_train_SIXray_OPIXray No objects detected Detection preview by DN_Medium_300_yolov8m_20t7_new gun Detection preview by Segmentatation_v8_medium_train_250 gun Detection preview by Segmentation_V11_large_300_train_300 gun Detection preview by Segmentation_v8_large_300_train_300
Original Image: P01904.jpg
GT: gun
gun Detection preview by Box_v11_medium_train_SIXray_OPIXray No objects detected Detection preview by DN_Medium_300_yolov8m_20t7_new gun Detection preview by Segmentatation_v8_medium_train_250 gun Detection preview by Segmentation_V11_large_300_train_300 gun Detection preview by Segmentation_v8_large_300_train_300
Original Image: P01905.jpg
GT: gun
gun Detection preview by Box_v11_medium_train_SIXray_OPIXray No objects detected Detection preview by DN_Medium_300_yolov8m_20t7_new gun Detection preview by Segmentatation_v8_medium_train_250 gun Detection preview by Segmentation_V11_large_300_train_300 gun Detection preview by Segmentation_v8_large_300_train_300
Original Image: P01906.jpg
GT: gun
gun Detection preview by Box_v11_medium_train_SIXray_OPIXray No objects detected Detection preview by DN_Medium_300_yolov8m_20t7_new gun Detection preview by Segmentatation_v8_medium_train_250 gun Detection preview by Segmentation_V11_large_300_train_300 gun Detection preview by Segmentation_v8_large_300_train_300
Original Image: P01907.jpg
GT: gun
gun Detection preview by Box_v11_medium_train_SIXray_OPIXray No objects detected Detection preview by DN_Medium_300_yolov8m_20t7_new gun Detection preview by Segmentatation_v8_medium_train_250 gun Detection preview by Segmentation_V11_large_300_train_300 gun Detection preview by Segmentation_v8_large_300_train_300
Original Image: P01908.jpg
GT: gun
gun Detection preview by Box_v11_medium_train_SIXray_OPIXray No objects detected Detection preview by DN_Medium_300_yolov8m_20t7_new gun Detection preview by Segmentatation_v8_medium_train_250 gun Detection preview by Segmentation_V11_large_300_train_300 gun Detection preview by Segmentation_v8_large_300_train_300
Original Image: P01909.jpg
GT: gun
gun Detection preview by Box_v11_medium_train_SIXray_OPIXray No objects detected Detection preview by DN_Medium_300_yolov8m_20t7_new gun Detection preview by Segmentatation_v8_medium_train_250 gun Detection preview by Segmentation_V11_large_300_train_300 gun Detection preview by Segmentation_v8_large_300_train_300
Original Image: P01910.jpg
GT: gun
gun Detection preview by Box_v11_medium_train_SIXray_OPIXray No objects detected Detection preview by DN_Medium_300_yolov8m_20t7_new gun Detection preview by Segmentatation_v8_medium_train_250 gun Detection preview by Segmentation_V11_large_300_train_300 gun Detection preview by Segmentation_v8_large_300_train_300
Original Image: P01911.jpg
GT: gun
gun Detection preview by Box_v11_medium_train_SIXray_OPIXray No objects detected Detection preview by DN_Medium_300_yolov8m_20t7_new gun Detection preview by Segmentatation_v8_medium_train_250 gun Detection preview by Segmentation_V11_large_300_train_300 gun Detection preview by Segmentation_v8_large_300_train_300
Original Image: P01912.jpg
GT: gun
gun Detection preview by Box_v11_medium_train_SIXray_OPIXray No objects detected Detection preview by DN_Medium_300_yolov8m_20t7_new gun Detection preview by Segmentatation_v8_medium_train_250 gun Detection preview by Segmentation_V11_large_300_train_300 gun Detection preview by Segmentation_v8_large_300_train_300
Original Image: P01913.jpg
GT: gun
gun Detection preview by Box_v11_medium_train_SIXray_OPIXray No objects detected Detection preview by DN_Medium_300_yolov8m_20t7_new gun Detection preview by Segmentatation_v8_medium_train_250 gun Detection preview by Segmentation_V11_large_300_train_300 gun Detection preview by Segmentation_v8_large_300_train_300
Original Image: P01914.jpg
GT: gun
gun Detection preview by Box_v11_medium_train_SIXray_OPIXray No objects detected Detection preview by DN_Medium_300_yolov8m_20t7_new gun Detection preview by Segmentatation_v8_medium_train_250 gun Detection preview by Segmentation_V11_large_300_train_300 gun Detection preview by Segmentation_v8_large_300_train_300
Original Image: P01915.jpg
GT: gun
gun Detection preview by Box_v11_medium_train_SIXray_OPIXray No objects detected Detection preview by DN_Medium_300_yolov8m_20t7_new gun Detection preview by Segmentatation_v8_medium_train_250 gun Detection preview by Segmentation_V11_large_300_train_300 gun Detection preview by Segmentation_v8_large_300_train_300
Original Image: P01916.jpg
GT: gun
gun Detection preview by Box_v11_medium_train_SIXray_OPIXray No objects detected Detection preview by DN_Medium_300_yolov8m_20t7_new gun Detection preview by Segmentatation_v8_medium_train_250 gun Detection preview by Segmentation_V11_large_300_train_300 gun Detection preview by Segmentation_v8_large_300_train_300
Original Image: P01917.jpg
GT: gun
gun Detection preview by Box_v11_medium_train_SIXray_OPIXray No objects detected Detection preview by DN_Medium_300_yolov8m_20t7_new gun Detection preview by Segmentatation_v8_medium_train_250 gun Detection preview by Segmentation_V11_large_300_train_300 gun Detection preview by Segmentation_v8_large_300_train_300
Original Image: P01918.jpg
GT: gun
gun Detection preview by Box_v11_medium_train_SIXray_OPIXray No objects detected Detection preview by DN_Medium_300_yolov8m_20t7_new gun Detection preview by Segmentatation_v8_medium_train_250 gun Detection preview by Segmentation_V11_large_300_train_300 gun Detection preview by Segmentation_v8_large_300_train_300
Original Image: P01919.jpg
GT: gun
gun Detection preview by Box_v11_medium_train_SIXray_OPIXray gun Detection preview by DN_Medium_300_yolov8m_20t7_new gun Detection preview by Segmentatation_v8_medium_train_250 gun Detection preview by Segmentation_V11_large_300_train_300 gun Detection preview by Segmentation_v8_large_300_train_300
Original Image: P01920.jpg
GT: gun
gun, pliers, wrench Detection preview by Box_v11_medium_train_SIXray_OPIXray wrench Detection preview by DN_Medium_300_yolov8m_20t7_new gun, wrench Detection preview by Segmentatation_v8_medium_train_250 gun, wrench Detection preview by Segmentation_V11_large_300_train_300 gun, wrench Detection preview by Segmentation_v8_large_300_train_300
Original Image: P01921.jpg
GT: gun
gun Detection preview by Box_v11_medium_train_SIXray_OPIXray No objects detected Detection preview by DN_Medium_300_yolov8m_20t7_new gun Detection preview by Segmentatation_v8_medium_train_250 gun Detection preview by Segmentation_V11_large_300_train_300 gun Detection preview by Segmentation_v8_large_300_train_300
Original Image: P01922.jpg
GT: gun
gun Detection preview by Box_v11_medium_train_SIXray_OPIXray gun Detection preview by DN_Medium_300_yolov8m_20t7_new gun Detection preview by Segmentatation_v8_medium_train_250 gun Detection preview by Segmentation_V11_large_300_train_300 gun Detection preview by Segmentation_v8_large_300_train_300
Original Image: P01923.jpg
GT: gun
gun Detection preview by Box_v11_medium_train_SIXray_OPIXray gun Detection preview by DN_Medium_300_yolov8m_20t7_new gun Detection preview by Segmentatation_v8_medium_train_250 gun Detection preview by Segmentation_V11_large_300_train_300 gun Detection preview by Segmentation_v8_large_300_train_300
Original Image: P01924.jpg
GT: gun
gun Detection preview by Box_v11_medium_train_SIXray_OPIXray gun Detection preview by DN_Medium_300_yolov8m_20t7_new gun Detection preview by Segmentatation_v8_medium_train_250 gun Detection preview by Segmentation_V11_large_300_train_300 gun Detection preview by Segmentation_v8_large_300_train_300
Original Image: P01925.jpg
GT: gun
gun Detection preview by Box_v11_medium_train_SIXray_OPIXray gun Detection preview by DN_Medium_300_yolov8m_20t7_new gun Detection preview by Segmentatation_v8_medium_train_250 gun Detection preview by Segmentation_V11_large_300_train_300 gun Detection preview by Segmentation_v8_large_300_train_300
Original Image: P01926.jpg
GT: gun
gun Detection preview by Box_v11_medium_train_SIXray_OPIXray gun Detection preview by DN_Medium_300_yolov8m_20t7_new gun Detection preview by Segmentatation_v8_medium_train_250 gun Detection preview by Segmentation_V11_large_300_train_300 gun Detection preview by Segmentation_v8_large_300_train_300
Original Image: P01927.jpg
GT: gun
gun Detection preview by Box_v11_medium_train_SIXray_OPIXray No objects detected Detection preview by DN_Medium_300_yolov8m_20t7_new gun Detection preview by Segmentatation_v8_medium_train_250 gun Detection preview by Segmentation_V11_large_300_train_300 gun Detection preview by Segmentation_v8_large_300_train_300
Original Image: P01928.jpg
GT: gun
gun Detection preview by Box_v11_medium_train_SIXray_OPIXray No objects detected Detection preview by DN_Medium_300_yolov8m_20t7_new gun Detection preview by Segmentatation_v8_medium_train_250 gun Detection preview by Segmentation_V11_large_300_train_300 gun Detection preview by Segmentation_v8_large_300_train_300
Original Image: P01929.jpg
GT: gun
gun Detection preview by Box_v11_medium_train_SIXray_OPIXray No objects detected Detection preview by DN_Medium_300_yolov8m_20t7_new gun Detection preview by Segmentatation_v8_medium_train_250 gun Detection preview by Segmentation_V11_large_300_train_300 gun Detection preview by Segmentation_v8_large_300_train_300
Original Image: P01930.jpg
GT: gun
gun Detection preview by Box_v11_medium_train_SIXray_OPIXray No objects detected Detection preview by DN_Medium_300_yolov8m_20t7_new gun Detection preview by Segmentatation_v8_medium_train_250 gun Detection preview by Segmentation_V11_large_300_train_300 gun Detection preview by Segmentation_v8_large_300_train_300
Original Image: P01931.jpg
GT: gun
gun Detection preview by Box_v11_medium_train_SIXray_OPIXray No objects detected Detection preview by DN_Medium_300_yolov8m_20t7_new gun Detection preview by Segmentatation_v8_medium_train_250 gun Detection preview by Segmentation_V11_large_300_train_300 gun Detection preview by Segmentation_v8_large_300_train_300
Original Image: P01932.jpg
GT: gun
gun Detection preview by Box_v11_medium_train_SIXray_OPIXray No objects detected Detection preview by DN_Medium_300_yolov8m_20t7_new gun Detection preview by Segmentatation_v8_medium_train_250 gun Detection preview by Segmentation_V11_large_300_train_300 gun Detection preview by Segmentation_v8_large_300_train_300
Original Image: P01933.jpg
GT: gun
gun Detection preview by Box_v11_medium_train_SIXray_OPIXray No objects detected Detection preview by DN_Medium_300_yolov8m_20t7_new gun Detection preview by Segmentatation_v8_medium_train_250 gun Detection preview by Segmentation_V11_large_300_train_300 gun Detection preview by Segmentation_v8_large_300_train_300
Original Image: P01934.jpg
GT: gun
gun Detection preview by Box_v11_medium_train_SIXray_OPIXray No objects detected Detection preview by DN_Medium_300_yolov8m_20t7_new gun Detection preview by Segmentatation_v8_medium_train_250 gun Detection preview by Segmentation_V11_large_300_train_300 gun Detection preview by Segmentation_v8_large_300_train_300
Original Image: P01935.jpg
GT: gun
gun Detection preview by Box_v11_medium_train_SIXray_OPIXray No objects detected Detection preview by DN_Medium_300_yolov8m_20t7_new gun Detection preview by Segmentatation_v8_medium_train_250 gun Detection preview by Segmentation_V11_large_300_train_300 gun Detection preview by Segmentation_v8_large_300_train_300
Original Image: P01936.jpg
GT: gun
gun Detection preview by Box_v11_medium_train_SIXray_OPIXray No objects detected Detection preview by DN_Medium_300_yolov8m_20t7_new gun Detection preview by Segmentatation_v8_medium_train_250 gun Detection preview by Segmentation_V11_large_300_train_300 gun Detection preview by Segmentation_v8_large_300_train_300
Original Image: P01937.jpg
GT: gun
gun Detection preview by Box_v11_medium_train_SIXray_OPIXray No objects detected Detection preview by DN_Medium_300_yolov8m_20t7_new gun Detection preview by Segmentatation_v8_medium_train_250 gun Detection preview by Segmentation_V11_large_300_train_300 gun Detection preview by Segmentation_v8_large_300_train_300
Original Image: P01938.jpg
GT: gun
gun Detection preview by Box_v11_medium_train_SIXray_OPIXray No objects detected Detection preview by DN_Medium_300_yolov8m_20t7_new gun Detection preview by Segmentatation_v8_medium_train_250 gun Detection preview by Segmentation_V11_large_300_train_300 gun Detection preview by Segmentation_v8_large_300_train_300
Original Image: P01939.jpg
GT: gun
gun Detection preview by Box_v11_medium_train_SIXray_OPIXray No objects detected Detection preview by DN_Medium_300_yolov8m_20t7_new gun Detection preview by Segmentatation_v8_medium_train_250 gun Detection preview by Segmentation_V11_large_300_train_300 gun Detection preview by Segmentation_v8_large_300_train_300
Original Image: P01940.jpg
GT: gun
gun Detection preview by Box_v11_medium_train_SIXray_OPIXray No objects detected Detection preview by DN_Medium_300_yolov8m_20t7_new gun Detection preview by Segmentatation_v8_medium_train_250 gun Detection preview by Segmentation_V11_large_300_train_300 gun Detection preview by Segmentation_v8_large_300_train_300
Original Image: P01941.jpg
GT: gun
gun Detection preview by Box_v11_medium_train_SIXray_OPIXray No objects detected Detection preview by DN_Medium_300_yolov8m_20t7_new gun Detection preview by Segmentatation_v8_medium_train_250 gun Detection preview by Segmentation_V11_large_300_train_300 gun Detection preview by Segmentation_v8_large_300_train_300
Original Image: P01942.jpg
GT: gun
gun Detection preview by Box_v11_medium_train_SIXray_OPIXray No objects detected Detection preview by DN_Medium_300_yolov8m_20t7_new gun Detection preview by Segmentatation_v8_medium_train_250 gun Detection preview by Segmentation_V11_large_300_train_300 gun Detection preview by Segmentation_v8_large_300_train_300
Original Image: P01943.jpg
GT: gun
gun Detection preview by Box_v11_medium_train_SIXray_OPIXray No objects detected Detection preview by DN_Medium_300_yolov8m_20t7_new gun Detection preview by Segmentatation_v8_medium_train_250 gun Detection preview by Segmentation_V11_large_300_train_300 gun Detection preview by Segmentation_v8_large_300_train_300
Original Image: P01944.jpg
GT: gun
gun Detection preview by Box_v11_medium_train_SIXray_OPIXray No objects detected Detection preview by DN_Medium_300_yolov8m_20t7_new gun Detection preview by Segmentatation_v8_medium_train_250 gun Detection preview by Segmentation_V11_large_300_train_300 gun Detection preview by Segmentation_v8_large_300_train_300
Original Image: P01945.jpg
GT: gun
gun Detection preview by Box_v11_medium_train_SIXray_OPIXray No objects detected Detection preview by DN_Medium_300_yolov8m_20t7_new gun Detection preview by Segmentatation_v8_medium_train_250 gun Detection preview by Segmentation_V11_large_300_train_300 gun Detection preview by Segmentation_v8_large_300_train_300
Original Image: P01946.jpg
GT: gun
gun Detection preview by Box_v11_medium_train_SIXray_OPIXray No objects detected Detection preview by DN_Medium_300_yolov8m_20t7_new gun Detection preview by Segmentatation_v8_medium_train_250 gun Detection preview by Segmentation_V11_large_300_train_300 gun Detection preview by Segmentation_v8_large_300_train_300
Original Image: P01947.jpg
GT: gun
gun Detection preview by Box_v11_medium_train_SIXray_OPIXray No objects detected Detection preview by DN_Medium_300_yolov8m_20t7_new gun Detection preview by Segmentatation_v8_medium_train_250 gun Detection preview by Segmentation_V11_large_300_train_300 gun Detection preview by Segmentation_v8_large_300_train_300
Original Image: P01948.jpg
GT: gun
gun Detection preview by Box_v11_medium_train_SIXray_OPIXray No objects detected Detection preview by DN_Medium_300_yolov8m_20t7_new gun Detection preview by Segmentatation_v8_medium_train_250 gun Detection preview by Segmentation_V11_large_300_train_300 gun Detection preview by Segmentation_v8_large_300_train_300
Original Image: P01949.jpg
GT: gun
gun Detection preview by Box_v11_medium_train_SIXray_OPIXray No objects detected Detection preview by DN_Medium_300_yolov8m_20t7_new gun Detection preview by Segmentatation_v8_medium_train_250 gun Detection preview by Segmentation_V11_large_300_train_300 gun Detection preview by Segmentation_v8_large_300_train_300
Original Image: P01950.jpg
GT: gun
gun Detection preview by Box_v11_medium_train_SIXray_OPIXray No objects detected Detection preview by DN_Medium_300_yolov8m_20t7_new gun Detection preview by Segmentatation_v8_medium_train_250 gun Detection preview by Segmentation_V11_large_300_train_300 gun Detection preview by Segmentation_v8_large_300_train_300
Original Image: P01951.jpg
GT: gun
gun Detection preview by Box_v11_medium_train_SIXray_OPIXray No objects detected Detection preview by DN_Medium_300_yolov8m_20t7_new gun Detection preview by Segmentatation_v8_medium_train_250 gun Detection preview by Segmentation_V11_large_300_train_300 gun Detection preview by Segmentation_v8_large_300_train_300
Original Image: P01952.jpg
GT: gun
gun Detection preview by Box_v11_medium_train_SIXray_OPIXray No objects detected Detection preview by DN_Medium_300_yolov8m_20t7_new gun Detection preview by Segmentatation_v8_medium_train_250 gun Detection preview by Segmentation_V11_large_300_train_300 gun Detection preview by Segmentation_v8_large_300_train_300
Original Image: P01953.jpg
GT: gun
gun Detection preview by Box_v11_medium_train_SIXray_OPIXray No objects detected Detection preview by DN_Medium_300_yolov8m_20t7_new gun Detection preview by Segmentatation_v8_medium_train_250 gun Detection preview by Segmentation_V11_large_300_train_300 gun Detection preview by Segmentation_v8_large_300_train_300
Original Image: P01954.jpg
GT: gun
gun Detection preview by Box_v11_medium_train_SIXray_OPIXray No objects detected Detection preview by DN_Medium_300_yolov8m_20t7_new gun Detection preview by Segmentatation_v8_medium_train_250 gun Detection preview by Segmentation_V11_large_300_train_300 gun Detection preview by Segmentation_v8_large_300_train_300
Original Image: P01955.jpg
GT: gun
gun Detection preview by Box_v11_medium_train_SIXray_OPIXray No objects detected Detection preview by DN_Medium_300_yolov8m_20t7_new gun Detection preview by Segmentatation_v8_medium_train_250 gun Detection preview by Segmentation_V11_large_300_train_300 gun Detection preview by Segmentation_v8_large_300_train_300
Original Image: P01956.jpg
GT: gun
gun Detection preview by Box_v11_medium_train_SIXray_OPIXray No objects detected Detection preview by DN_Medium_300_yolov8m_20t7_new gun Detection preview by Segmentatation_v8_medium_train_250 gun Detection preview by Segmentation_V11_large_300_train_300 gun Detection preview by Segmentation_v8_large_300_train_300
Original Image: P01957.jpg
GT: gun
gun Detection preview by Box_v11_medium_train_SIXray_OPIXray No objects detected Detection preview by DN_Medium_300_yolov8m_20t7_new gun Detection preview by Segmentatation_v8_medium_train_250 gun Detection preview by Segmentation_V11_large_300_train_300 gun Detection preview by Segmentation_v8_large_300_train_300
Original Image: P01958.jpg
GT: gun
gun Detection preview by Box_v11_medium_train_SIXray_OPIXray No objects detected Detection preview by DN_Medium_300_yolov8m_20t7_new gun Detection preview by Segmentatation_v8_medium_train_250 gun Detection preview by Segmentation_V11_large_300_train_300 gun Detection preview by Segmentation_v8_large_300_train_300
Original Image: P01959.jpg
GT: gun
gun Detection preview by Box_v11_medium_train_SIXray_OPIXray No objects detected Detection preview by DN_Medium_300_yolov8m_20t7_new gun Detection preview by Segmentatation_v8_medium_train_250 gun Detection preview by Segmentation_V11_large_300_train_300 gun Detection preview by Segmentation_v8_large_300_train_300
Original Image: P01960.jpg
GT: gun
gun Detection preview by Box_v11_medium_train_SIXray_OPIXray No objects detected Detection preview by DN_Medium_300_yolov8m_20t7_new gun Detection preview by Segmentatation_v8_medium_train_250 gun Detection preview by Segmentation_V11_large_300_train_300 gun Detection preview by Segmentation_v8_large_300_train_300
Original Image: P01961.jpg
GT: gun
gun Detection preview by Box_v11_medium_train_SIXray_OPIXray No objects detected Detection preview by DN_Medium_300_yolov8m_20t7_new gun Detection preview by Segmentatation_v8_medium_train_250 gun Detection preview by Segmentation_V11_large_300_train_300 gun Detection preview by Segmentation_v8_large_300_train_300
Original Image: P01962.jpg
GT: gun
gun Detection preview by Box_v11_medium_train_SIXray_OPIXray gun Detection preview by DN_Medium_300_yolov8m_20t7_new gun Detection preview by Segmentatation_v8_medium_train_250 gun Detection preview by Segmentation_V11_large_300_train_300 gun Detection preview by Segmentation_v8_large_300_train_300
Original Image: P01963.jpg
GT: gun
gun Detection preview by Box_v11_medium_train_SIXray_OPIXray gun Detection preview by DN_Medium_300_yolov8m_20t7_new gun Detection preview by Segmentatation_v8_medium_train_250 gun Detection preview by Segmentation_V11_large_300_train_300 gun Detection preview by Segmentation_v8_large_300_train_300
Original Image: P01964.jpg
GT: gun
gun Detection preview by Box_v11_medium_train_SIXray_OPIXray gun Detection preview by DN_Medium_300_yolov8m_20t7_new gun Detection preview by Segmentatation_v8_medium_train_250 gun Detection preview by Segmentation_V11_large_300_train_300 gun Detection preview by Segmentation_v8_large_300_train_300
Original Image: P01965.jpg
GT: gun
gun Detection preview by Box_v11_medium_train_SIXray_OPIXray gun Detection preview by DN_Medium_300_yolov8m_20t7_new gun Detection preview by Segmentatation_v8_medium_train_250 gun Detection preview by Segmentation_V11_large_300_train_300 gun Detection preview by Segmentation_v8_large_300_train_300
Original Image: P01966.jpg
GT: gun
gun Detection preview by Box_v11_medium_train_SIXray_OPIXray No objects detected Detection preview by DN_Medium_300_yolov8m_20t7_new gun Detection preview by Segmentatation_v8_medium_train_250 gun Detection preview by Segmentation_V11_large_300_train_300 gun Detection preview by Segmentation_v8_large_300_train_300
Original Image: P01967.jpg
GT: gun
gun Detection preview by Box_v11_medium_train_SIXray_OPIXray No objects detected Detection preview by DN_Medium_300_yolov8m_20t7_new gun Detection preview by Segmentatation_v8_medium_train_250 gun Detection preview by Segmentation_V11_large_300_train_300 gun Detection preview by Segmentation_v8_large_300_train_300
Original Image: P01968.jpg
GT: gun
gun Detection preview by Box_v11_medium_train_SIXray_OPIXray No objects detected Detection preview by DN_Medium_300_yolov8m_20t7_new gun Detection preview by Segmentatation_v8_medium_train_250 gun Detection preview by Segmentation_V11_large_300_train_300 gun Detection preview by Segmentation_v8_large_300_train_300
Original Image: P01969.jpg
GT: gun
gun Detection preview by Box_v11_medium_train_SIXray_OPIXray No objects detected Detection preview by DN_Medium_300_yolov8m_20t7_new gun Detection preview by Segmentatation_v8_medium_train_250 gun Detection preview by Segmentation_V11_large_300_train_300 gun Detection preview by Segmentation_v8_large_300_train_300
Original Image: P01970.jpg
GT: gun
gun Detection preview by Box_v11_medium_train_SIXray_OPIXray No objects detected Detection preview by DN_Medium_300_yolov8m_20t7_new gun Detection preview by Segmentatation_v8_medium_train_250 gun Detection preview by Segmentation_V11_large_300_train_300 gun Detection preview by Segmentation_v8_large_300_train_300
Original Image: P01971.jpg
GT: gun
gun Detection preview by Box_v11_medium_train_SIXray_OPIXray gun Detection preview by DN_Medium_300_yolov8m_20t7_new gun Detection preview by Segmentatation_v8_medium_train_250 gun Detection preview by Segmentation_V11_large_300_train_300 gun Detection preview by Segmentation_v8_large_300_train_300
Original Image: P01972.jpg
GT: gun
gun Detection preview by Box_v11_medium_train_SIXray_OPIXray No objects detected Detection preview by DN_Medium_300_yolov8m_20t7_new gun Detection preview by Segmentatation_v8_medium_train_250 gun Detection preview by Segmentation_V11_large_300_train_300 gun Detection preview by Segmentation_v8_large_300_train_300
Original Image: P01973.jpg
GT: gun
gun Detection preview by Box_v11_medium_train_SIXray_OPIXray No objects detected Detection preview by DN_Medium_300_yolov8m_20t7_new gun Detection preview by Segmentatation_v8_medium_train_250 gun Detection preview by Segmentation_V11_large_300_train_300 gun Detection preview by Segmentation_v8_large_300_train_300
Original Image: P01974.jpg
GT: gun
gun Detection preview by Box_v11_medium_train_SIXray_OPIXray gun Detection preview by DN_Medium_300_yolov8m_20t7_new gun Detection preview by Segmentatation_v8_medium_train_250 gun Detection preview by Segmentation_V11_large_300_train_300 gun Detection preview by Segmentation_v8_large_300_train_300
Original Image: P01975.jpg
GT: gun
gun Detection preview by Box_v11_medium_train_SIXray_OPIXray No objects detected Detection preview by DN_Medium_300_yolov8m_20t7_new gun Detection preview by Segmentatation_v8_medium_train_250 gun Detection preview by Segmentation_V11_large_300_train_300 gun Detection preview by Segmentation_v8_large_300_train_300
Original Image: P01976.jpg
GT: gun
gun Detection preview by Box_v11_medium_train_SIXray_OPIXray gun Detection preview by DN_Medium_300_yolov8m_20t7_new gun Detection preview by Segmentatation_v8_medium_train_250 gun Detection preview by Segmentation_V11_large_300_train_300 gun Detection preview by Segmentation_v8_large_300_train_300
Original Image: P01977.jpg
GT: gun
gun Detection preview by Box_v11_medium_train_SIXray_OPIXray No objects detected Detection preview by DN_Medium_300_yolov8m_20t7_new gun Detection preview by Segmentatation_v8_medium_train_250 gun Detection preview by Segmentation_V11_large_300_train_300 gun Detection preview by Segmentation_v8_large_300_train_300
Original Image: P01978.jpg
GT: gun
gun Detection preview by Box_v11_medium_train_SIXray_OPIXray No objects detected Detection preview by DN_Medium_300_yolov8m_20t7_new gun Detection preview by Segmentatation_v8_medium_train_250 gun Detection preview by Segmentation_V11_large_300_train_300 gun Detection preview by Segmentation_v8_large_300_train_300
Original Image: P01979.jpg
GT: gun
gun Detection preview by Box_v11_medium_train_SIXray_OPIXray No objects detected Detection preview by DN_Medium_300_yolov8m_20t7_new gun Detection preview by Segmentatation_v8_medium_train_250 gun Detection preview by Segmentation_V11_large_300_train_300 gun Detection preview by Segmentation_v8_large_300_train_300
Original Image: P01980.jpg
GT: gun
gun Detection preview by Box_v11_medium_train_SIXray_OPIXray No objects detected Detection preview by DN_Medium_300_yolov8m_20t7_new gun Detection preview by Segmentatation_v8_medium_train_250 gun Detection preview by Segmentation_V11_large_300_train_300 gun Detection preview by Segmentation_v8_large_300_train_300
Original Image: P01981.jpg
GT: gun
gun Detection preview by Box_v11_medium_train_SIXray_OPIXray No objects detected Detection preview by DN_Medium_300_yolov8m_20t7_new gun Detection preview by Segmentatation_v8_medium_train_250 gun Detection preview by Segmentation_V11_large_300_train_300 gun Detection preview by Segmentation_v8_large_300_train_300
Original Image: P01982.jpg
GT: gun
gun Detection preview by Box_v11_medium_train_SIXray_OPIXray gun Detection preview by DN_Medium_300_yolov8m_20t7_new gun Detection preview by Segmentatation_v8_medium_train_250 gun Detection preview by Segmentation_V11_large_300_train_300 gun Detection preview by Segmentation_v8_large_300_train_300
Original Image: P01983.jpg
GT: gun
gun Detection preview by Box_v11_medium_train_SIXray_OPIXray No objects detected Detection preview by DN_Medium_300_yolov8m_20t7_new gun Detection preview by Segmentatation_v8_medium_train_250 gun Detection preview by Segmentation_V11_large_300_train_300 gun Detection preview by Segmentation_v8_large_300_train_300
Original Image: P01984.jpg
GT: gun
gun Detection preview by Box_v11_medium_train_SIXray_OPIXray gun Detection preview by DN_Medium_300_yolov8m_20t7_new gun Detection preview by Segmentatation_v8_medium_train_250 gun Detection preview by Segmentation_V11_large_300_train_300 gun Detection preview by Segmentation_v8_large_300_train_300
Original Image: P01985.jpg
GT: gun
gun Detection preview by Box_v11_medium_train_SIXray_OPIXray No objects detected Detection preview by DN_Medium_300_yolov8m_20t7_new gun Detection preview by Segmentatation_v8_medium_train_250 gun Detection preview by Segmentation_V11_large_300_train_300 gun Detection preview by Segmentation_v8_large_300_train_300
Original Image: P01986.jpg
GT: gun
gun Detection preview by Box_v11_medium_train_SIXray_OPIXray No objects detected Detection preview by DN_Medium_300_yolov8m_20t7_new gun Detection preview by Segmentatation_v8_medium_train_250 gun Detection preview by Segmentation_V11_large_300_train_300 gun Detection preview by Segmentation_v8_large_300_train_300
Original Image: P01987.jpg
GT: gun
gun Detection preview by Box_v11_medium_train_SIXray_OPIXray No objects detected Detection preview by DN_Medium_300_yolov8m_20t7_new gun Detection preview by Segmentatation_v8_medium_train_250 gun Detection preview by Segmentation_V11_large_300_train_300 gun Detection preview by Segmentation_v8_large_300_train_300
Original Image: P01988.jpg
GT: gun
gun Detection preview by Box_v11_medium_train_SIXray_OPIXray No objects detected Detection preview by DN_Medium_300_yolov8m_20t7_new gun Detection preview by Segmentatation_v8_medium_train_250 gun Detection preview by Segmentation_V11_large_300_train_300 gun Detection preview by Segmentation_v8_large_300_train_300
Original Image: P01989.jpg
GT: gun
gun Detection preview by Box_v11_medium_train_SIXray_OPIXray No objects detected Detection preview by DN_Medium_300_yolov8m_20t7_new gun Detection preview by Segmentatation_v8_medium_train_250 gun Detection preview by Segmentation_V11_large_300_train_300 gun Detection preview by Segmentation_v8_large_300_train_300
Original Image: P01990.jpg
GT: gun
gun Detection preview by Box_v11_medium_train_SIXray_OPIXray No objects detected Detection preview by DN_Medium_300_yolov8m_20t7_new gun Detection preview by Segmentatation_v8_medium_train_250 gun Detection preview by Segmentation_V11_large_300_train_300 gun Detection preview by Segmentation_v8_large_300_train_300
Original Image: P01991.jpg
GT: gun
gun Detection preview by Box_v11_medium_train_SIXray_OPIXray gun Detection preview by DN_Medium_300_yolov8m_20t7_new gun Detection preview by Segmentatation_v8_medium_train_250 gun Detection preview by Segmentation_V11_large_300_train_300 gun Detection preview by Segmentation_v8_large_300_train_300
Original Image: P01992.jpg
GT: gun
gun Detection preview by Box_v11_medium_train_SIXray_OPIXray gun Detection preview by DN_Medium_300_yolov8m_20t7_new gun Detection preview by Segmentatation_v8_medium_train_250 gun Detection preview by Segmentation_V11_large_300_train_300 gun Detection preview by Segmentation_v8_large_300_train_300
Original Image: P01993.jpg
GT: gun
gun Detection preview by Box_v11_medium_train_SIXray_OPIXray No objects detected Detection preview by DN_Medium_300_yolov8m_20t7_new gun Detection preview by Segmentatation_v8_medium_train_250 gun Detection preview by Segmentation_V11_large_300_train_300 gun Detection preview by Segmentation_v8_large_300_train_300
Original Image: P01994.jpg
GT: gun
gun Detection preview by Box_v11_medium_train_SIXray_OPIXray No objects detected Detection preview by DN_Medium_300_yolov8m_20t7_new gun Detection preview by Segmentatation_v8_medium_train_250 gun Detection preview by Segmentation_V11_large_300_train_300 gun Detection preview by Segmentation_v8_large_300_train_300
Original Image: P01995.jpg
GT: gun
gun Detection preview by Box_v11_medium_train_SIXray_OPIXray No objects detected Detection preview by DN_Medium_300_yolov8m_20t7_new gun Detection preview by Segmentatation_v8_medium_train_250 gun Detection preview by Segmentation_V11_large_300_train_300 gun Detection preview by Segmentation_v8_large_300_train_300
Original Image: P01996.jpg
GT: gun
gun Detection preview by Box_v11_medium_train_SIXray_OPIXray No objects detected Detection preview by DN_Medium_300_yolov8m_20t7_new gun Detection preview by Segmentatation_v8_medium_train_250 gun Detection preview by Segmentation_V11_large_300_train_300 gun Detection preview by Segmentation_v8_large_300_train_300
Original Image: P01997.jpg
GT: gun
gun Detection preview by Box_v11_medium_train_SIXray_OPIXray No objects detected Detection preview by DN_Medium_300_yolov8m_20t7_new gun Detection preview by Segmentatation_v8_medium_train_250 gun Detection preview by Segmentation_V11_large_300_train_300 gun Detection preview by Segmentation_v8_large_300_train_300
Original Image: P01998.jpg
GT: gun
gun Detection preview by Box_v11_medium_train_SIXray_OPIXray No objects detected Detection preview by DN_Medium_300_yolov8m_20t7_new gun Detection preview by Segmentatation_v8_medium_train_250 gun Detection preview by Segmentation_V11_large_300_train_300 gun Detection preview by Segmentation_v8_large_300_train_300
Original Image: P01999.jpg
GT: gun
gun Detection preview by Box_v11_medium_train_SIXray_OPIXray No objects detected Detection preview by DN_Medium_300_yolov8m_20t7_new gun Detection preview by Segmentatation_v8_medium_train_250 gun Detection preview by Segmentation_V11_large_300_train_300 gun Detection preview by Segmentation_v8_large_300_train_300
Original Image: P02000.jpg
GT: gun
gun Detection preview by Box_v11_medium_train_SIXray_OPIXray No objects detected Detection preview by DN_Medium_300_yolov8m_20t7_new gun Detection preview by Segmentatation_v8_medium_train_250 gun Detection preview by Segmentation_V11_large_300_train_300 gun Detection preview by Segmentation_v8_large_300_train_300
Original Image: P02001.jpg
GT: gun
gun Detection preview by Box_v11_medium_train_SIXray_OPIXray No objects detected Detection preview by DN_Medium_300_yolov8m_20t7_new gun Detection preview by Segmentatation_v8_medium_train_250 gun Detection preview by Segmentation_V11_large_300_train_300 gun Detection preview by Segmentation_v8_large_300_train_300
Original Image: P02002.jpg
GT: gun
gun Detection preview by Box_v11_medium_train_SIXray_OPIXray gun Detection preview by DN_Medium_300_yolov8m_20t7_new gun Detection preview by Segmentatation_v8_medium_train_250 gun Detection preview by Segmentation_V11_large_300_train_300 gun Detection preview by Segmentation_v8_large_300_train_300
Original Image: P02003.jpg
GT: gun
gun Detection preview by Box_v11_medium_train_SIXray_OPIXray gun Detection preview by DN_Medium_300_yolov8m_20t7_new gun Detection preview by Segmentatation_v8_medium_train_250 gun Detection preview by Segmentation_V11_large_300_train_300 gun Detection preview by Segmentation_v8_large_300_train_300
Original Image: P02004.jpg
GT: gun
gun Detection preview by Box_v11_medium_train_SIXray_OPIXray gun Detection preview by DN_Medium_300_yolov8m_20t7_new gun Detection preview by Segmentatation_v8_medium_train_250 gun Detection preview by Segmentation_V11_large_300_train_300 gun Detection preview by Segmentation_v8_large_300_train_300
Original Image: P02005.jpg
GT: gun
gun Detection preview by Box_v11_medium_train_SIXray_OPIXray gun Detection preview by DN_Medium_300_yolov8m_20t7_new gun Detection preview by Segmentatation_v8_medium_train_250 gun Detection preview by Segmentation_V11_large_300_train_300 gun Detection preview by Segmentation_v8_large_300_train_300
Original Image: P02006.jpg
GT: gun
gun Detection preview by Box_v11_medium_train_SIXray_OPIXray gun Detection preview by DN_Medium_300_yolov8m_20t7_new gun Detection preview by Segmentatation_v8_medium_train_250 gun Detection preview by Segmentation_V11_large_300_train_300 gun Detection preview by Segmentation_v8_large_300_train_300
Original Image: P02007.jpg
GT: gun
gun Detection preview by Box_v11_medium_train_SIXray_OPIXray No objects detected Detection preview by DN_Medium_300_yolov8m_20t7_new gun Detection preview by Segmentatation_v8_medium_train_250 gun Detection preview by Segmentation_V11_large_300_train_300 gun Detection preview by Segmentation_v8_large_300_train_300
Original Image: P02008.jpg
GT: gun
gun Detection preview by Box_v11_medium_train_SIXray_OPIXray gun Detection preview by DN_Medium_300_yolov8m_20t7_new gun Detection preview by Segmentatation_v8_medium_train_250 gun Detection preview by Segmentation_V11_large_300_train_300 gun Detection preview by Segmentation_v8_large_300_train_300
Original Image: P02009.jpg
GT: gun
gun Detection preview by Box_v11_medium_train_SIXray_OPIXray gun Detection preview by DN_Medium_300_yolov8m_20t7_new gun Detection preview by Segmentatation_v8_medium_train_250 gun Detection preview by Segmentation_V11_large_300_train_300 gun Detection preview by Segmentation_v8_large_300_train_300
Original Image: P02010.jpg
GT: gun
gun Detection preview by Box_v11_medium_train_SIXray_OPIXray gun Detection preview by DN_Medium_300_yolov8m_20t7_new gun Detection preview by Segmentatation_v8_medium_train_250 gun Detection preview by Segmentation_V11_large_300_train_300 gun Detection preview by Segmentation_v8_large_300_train_300
Original Image: P02011.jpg
GT: gun
gun Detection preview by Box_v11_medium_train_SIXray_OPIXray gun Detection preview by DN_Medium_300_yolov8m_20t7_new gun Detection preview by Segmentatation_v8_medium_train_250 gun Detection preview by Segmentation_V11_large_300_train_300 gun Detection preview by Segmentation_v8_large_300_train_300
Original Image: P02012.jpg
GT: gun
gun Detection preview by Box_v11_medium_train_SIXray_OPIXray No objects detected Detection preview by DN_Medium_300_yolov8m_20t7_new gun Detection preview by Segmentatation_v8_medium_train_250 gun Detection preview by Segmentation_V11_large_300_train_300 gun Detection preview by Segmentation_v8_large_300_train_300
Original Image: P02013.jpg
GT: gun
gun Detection preview by Box_v11_medium_train_SIXray_OPIXray No objects detected Detection preview by DN_Medium_300_yolov8m_20t7_new gun Detection preview by Segmentatation_v8_medium_train_250 gun Detection preview by Segmentation_V11_large_300_train_300 gun Detection preview by Segmentation_v8_large_300_train_300
Original Image: P02014.jpg
GT: gun
gun Detection preview by Box_v11_medium_train_SIXray_OPIXray gun Detection preview by DN_Medium_300_yolov8m_20t7_new gun Detection preview by Segmentatation_v8_medium_train_250 gun Detection preview by Segmentation_V11_large_300_train_300 gun Detection preview by Segmentation_v8_large_300_train_300
Original Image: P02015.jpg
GT: gun
gun Detection preview by Box_v11_medium_train_SIXray_OPIXray gun Detection preview by DN_Medium_300_yolov8m_20t7_new gun Detection preview by Segmentatation_v8_medium_train_250 gun Detection preview by Segmentation_V11_large_300_train_300 gun Detection preview by Segmentation_v8_large_300_train_300
Original Image: P02016.jpg
GT: gun
gun Detection preview by Box_v11_medium_train_SIXray_OPIXray gun Detection preview by DN_Medium_300_yolov8m_20t7_new gun Detection preview by Segmentatation_v8_medium_train_250 gun Detection preview by Segmentation_V11_large_300_train_300 gun Detection preview by Segmentation_v8_large_300_train_300
Original Image: P02017.jpg
GT: gun
gun Detection preview by Box_v11_medium_train_SIXray_OPIXray No objects detected Detection preview by DN_Medium_300_yolov8m_20t7_new gun Detection preview by Segmentatation_v8_medium_train_250 gun Detection preview by Segmentation_V11_large_300_train_300 gun Detection preview by Segmentation_v8_large_300_train_300
Original Image: P02018.jpg
GT: gun
gun Detection preview by Box_v11_medium_train_SIXray_OPIXray No objects detected Detection preview by DN_Medium_300_yolov8m_20t7_new gun Detection preview by Segmentatation_v8_medium_train_250 gun Detection preview by Segmentation_V11_large_300_train_300 gun Detection preview by Segmentation_v8_large_300_train_300
Original Image: P02019.jpg
GT: gun
gun Detection preview by Box_v11_medium_train_SIXray_OPIXray No objects detected Detection preview by DN_Medium_300_yolov8m_20t7_new gun Detection preview by Segmentatation_v8_medium_train_250 gun Detection preview by Segmentation_V11_large_300_train_300 gun Detection preview by Segmentation_v8_large_300_train_300
Original Image: P02020.jpg
GT: gun
gun Detection preview by Box_v11_medium_train_SIXray_OPIXray No objects detected Detection preview by DN_Medium_300_yolov8m_20t7_new gun Detection preview by Segmentatation_v8_medium_train_250 gun Detection preview by Segmentation_V11_large_300_train_300 gun Detection preview by Segmentation_v8_large_300_train_300
Original Image: P02021.jpg
GT: gun
gun Detection preview by Box_v11_medium_train_SIXray_OPIXray No objects detected Detection preview by DN_Medium_300_yolov8m_20t7_new gun Detection preview by Segmentatation_v8_medium_train_250 gun Detection preview by Segmentation_V11_large_300_train_300 gun Detection preview by Segmentation_v8_large_300_train_300
Original Image: P02022.jpg
GT: gun
gun Detection preview by Box_v11_medium_train_SIXray_OPIXray No objects detected Detection preview by DN_Medium_300_yolov8m_20t7_new gun Detection preview by Segmentatation_v8_medium_train_250 gun Detection preview by Segmentation_V11_large_300_train_300 gun Detection preview by Segmentation_v8_large_300_train_300
Original Image: P02023.jpg
GT: gun
gun Detection preview by Box_v11_medium_train_SIXray_OPIXray No objects detected Detection preview by DN_Medium_300_yolov8m_20t7_new gun Detection preview by Segmentatation_v8_medium_train_250 gun Detection preview by Segmentation_V11_large_300_train_300 gun Detection preview by Segmentation_v8_large_300_train_300
Original Image: P02024.jpg
GT: gun
gun Detection preview by Box_v11_medium_train_SIXray_OPIXray No objects detected Detection preview by DN_Medium_300_yolov8m_20t7_new gun Detection preview by Segmentatation_v8_medium_train_250 gun Detection preview by Segmentation_V11_large_300_train_300 gun Detection preview by Segmentation_v8_large_300_train_300
Original Image: P02025.jpg
GT: gun
gun Detection preview by Box_v11_medium_train_SIXray_OPIXray No objects detected Detection preview by DN_Medium_300_yolov8m_20t7_new gun Detection preview by Segmentatation_v8_medium_train_250 gun Detection preview by Segmentation_V11_large_300_train_300 gun Detection preview by Segmentation_v8_large_300_train_300
Original Image: P02026.jpg
GT: gun
gun Detection preview by Box_v11_medium_train_SIXray_OPIXray No objects detected Detection preview by DN_Medium_300_yolov8m_20t7_new gun Detection preview by Segmentatation_v8_medium_train_250 gun Detection preview by Segmentation_V11_large_300_train_300 gun Detection preview by Segmentation_v8_large_300_train_300
Original Image: P02027.jpg
GT: gun
gun Detection preview by Box_v11_medium_train_SIXray_OPIXray No objects detected Detection preview by DN_Medium_300_yolov8m_20t7_new gun Detection preview by Segmentatation_v8_medium_train_250 gun Detection preview by Segmentation_V11_large_300_train_300 gun Detection preview by Segmentation_v8_large_300_train_300
Original Image: P02028.jpg
GT: gun
gun Detection preview by Box_v11_medium_train_SIXray_OPIXray No objects detected Detection preview by DN_Medium_300_yolov8m_20t7_new gun Detection preview by Segmentatation_v8_medium_train_250 gun Detection preview by Segmentation_V11_large_300_train_300 gun Detection preview by Segmentation_v8_large_300_train_300
Original Image: P02029.jpg
GT: gun
gun Detection preview by Box_v11_medium_train_SIXray_OPIXray No objects detected Detection preview by DN_Medium_300_yolov8m_20t7_new gun Detection preview by Segmentatation_v8_medium_train_250 gun Detection preview by Segmentation_V11_large_300_train_300 gun Detection preview by Segmentation_v8_large_300_train_300
Original Image: P02030.jpg
GT: gun
gun Detection preview by Box_v11_medium_train_SIXray_OPIXray No objects detected Detection preview by DN_Medium_300_yolov8m_20t7_new gun Detection preview by Segmentatation_v8_medium_train_250 gun Detection preview by Segmentation_V11_large_300_train_300 gun Detection preview by Segmentation_v8_large_300_train_300
Original Image: P02031.jpg
GT: gun
gun Detection preview by Box_v11_medium_train_SIXray_OPIXray No objects detected Detection preview by DN_Medium_300_yolov8m_20t7_new gun Detection preview by Segmentatation_v8_medium_train_250 gun Detection preview by Segmentation_V11_large_300_train_300 gun Detection preview by Segmentation_v8_large_300_train_300
Original Image: P02032.jpg
GT: gun
gun Detection preview by Box_v11_medium_train_SIXray_OPIXray No objects detected Detection preview by DN_Medium_300_yolov8m_20t7_new gun Detection preview by Segmentatation_v8_medium_train_250 gun Detection preview by Segmentation_V11_large_300_train_300 gun Detection preview by Segmentation_v8_large_300_train_300
Original Image: P02033.jpg
GT: gun
gun Detection preview by Box_v11_medium_train_SIXray_OPIXray No objects detected Detection preview by DN_Medium_300_yolov8m_20t7_new gun Detection preview by Segmentatation_v8_medium_train_250 gun Detection preview by Segmentation_V11_large_300_train_300 gun Detection preview by Segmentation_v8_large_300_train_300
Original Image: P02034.jpg
GT: gun
gun Detection preview by Box_v11_medium_train_SIXray_OPIXray No objects detected Detection preview by DN_Medium_300_yolov8m_20t7_new gun Detection preview by Segmentatation_v8_medium_train_250 gun Detection preview by Segmentation_V11_large_300_train_300 gun Detection preview by Segmentation_v8_large_300_train_300
Original Image: P02035.jpg
GT: gun
gun Detection preview by Box_v11_medium_train_SIXray_OPIXray No objects detected Detection preview by DN_Medium_300_yolov8m_20t7_new gun Detection preview by Segmentatation_v8_medium_train_250 gun Detection preview by Segmentation_V11_large_300_train_300 gun Detection preview by Segmentation_v8_large_300_train_300
Original Image: P02036.jpg
GT: gun
gun Detection preview by Box_v11_medium_train_SIXray_OPIXray No objects detected Detection preview by DN_Medium_300_yolov8m_20t7_new gun Detection preview by Segmentatation_v8_medium_train_250 gun Detection preview by Segmentation_V11_large_300_train_300 gun Detection preview by Segmentation_v8_large_300_train_300
Original Image: P02037.jpg
GT: gun
gun Detection preview by Box_v11_medium_train_SIXray_OPIXray No objects detected Detection preview by DN_Medium_300_yolov8m_20t7_new gun Detection preview by Segmentatation_v8_medium_train_250 gun Detection preview by Segmentation_V11_large_300_train_300 gun Detection preview by Segmentation_v8_large_300_train_300
Original Image: P02038.jpg
GT: gun
gun Detection preview by Box_v11_medium_train_SIXray_OPIXray No objects detected Detection preview by DN_Medium_300_yolov8m_20t7_new gun Detection preview by Segmentatation_v8_medium_train_250 gun Detection preview by Segmentation_V11_large_300_train_300 gun Detection preview by Segmentation_v8_large_300_train_300
Original Image: P02039.jpg
GT: gun
gun Detection preview by Box_v11_medium_train_SIXray_OPIXray No objects detected Detection preview by DN_Medium_300_yolov8m_20t7_new gun Detection preview by Segmentatation_v8_medium_train_250 gun Detection preview by Segmentation_V11_large_300_train_300 gun Detection preview by Segmentation_v8_large_300_train_300
Original Image: P02040.jpg
GT: gun
gun Detection preview by Box_v11_medium_train_SIXray_OPIXray No objects detected Detection preview by DN_Medium_300_yolov8m_20t7_new gun Detection preview by Segmentatation_v8_medium_train_250 gun Detection preview by Segmentation_V11_large_300_train_300 gun Detection preview by Segmentation_v8_large_300_train_300
Original Image: P02041.jpg
GT: gun
gun Detection preview by Box_v11_medium_train_SIXray_OPIXray No objects detected Detection preview by DN_Medium_300_yolov8m_20t7_new gun Detection preview by Segmentatation_v8_medium_train_250 gun Detection preview by Segmentation_V11_large_300_train_300 gun Detection preview by Segmentation_v8_large_300_train_300
Original Image: P02042.jpg
GT: gun
gun Detection preview by Box_v11_medium_train_SIXray_OPIXray No objects detected Detection preview by DN_Medium_300_yolov8m_20t7_new gun Detection preview by Segmentatation_v8_medium_train_250 gun Detection preview by Segmentation_V11_large_300_train_300 gun Detection preview by Segmentation_v8_large_300_train_300
Original Image: P02043.jpg
GT: gun
gun Detection preview by Box_v11_medium_train_SIXray_OPIXray No objects detected Detection preview by DN_Medium_300_yolov8m_20t7_new gun Detection preview by Segmentatation_v8_medium_train_250 gun Detection preview by Segmentation_V11_large_300_train_300 gun Detection preview by Segmentation_v8_large_300_train_300
Original Image: P02044.jpg
GT: gun
gun Detection preview by Box_v11_medium_train_SIXray_OPIXray No objects detected Detection preview by DN_Medium_300_yolov8m_20t7_new gun Detection preview by Segmentatation_v8_medium_train_250 gun Detection preview by Segmentation_V11_large_300_train_300 gun Detection preview by Segmentation_v8_large_300_train_300
Original Image: P02045.jpg
GT: gun
gun Detection preview by Box_v11_medium_train_SIXray_OPIXray No objects detected Detection preview by DN_Medium_300_yolov8m_20t7_new gun Detection preview by Segmentatation_v8_medium_train_250 gun Detection preview by Segmentation_V11_large_300_train_300 gun Detection preview by Segmentation_v8_large_300_train_300
Original Image: P02046.jpg
GT: gun
gun Detection preview by Box_v11_medium_train_SIXray_OPIXray No objects detected Detection preview by DN_Medium_300_yolov8m_20t7_new gun Detection preview by Segmentatation_v8_medium_train_250 gun Detection preview by Segmentation_V11_large_300_train_300 gun Detection preview by Segmentation_v8_large_300_train_300
Original Image: P02047.jpg
GT: gun
gun Detection preview by Box_v11_medium_train_SIXray_OPIXray gun Detection preview by DN_Medium_300_yolov8m_20t7_new gun Detection preview by Segmentatation_v8_medium_train_250 gun Detection preview by Segmentation_V11_large_300_train_300 gun Detection preview by Segmentation_v8_large_300_train_300
Original Image: P02048.jpg
GT: gun
gun Detection preview by Box_v11_medium_train_SIXray_OPIXray gun Detection preview by DN_Medium_300_yolov8m_20t7_new gun Detection preview by Segmentatation_v8_medium_train_250 gun Detection preview by Segmentation_V11_large_300_train_300 gun Detection preview by Segmentation_v8_large_300_train_300
Original Image: P02049.jpg
GT: gun
gun Detection preview by Box_v11_medium_train_SIXray_OPIXray gun Detection preview by DN_Medium_300_yolov8m_20t7_new gun Detection preview by Segmentatation_v8_medium_train_250 gun Detection preview by Segmentation_V11_large_300_train_300 gun Detection preview by Segmentation_v8_large_300_train_300
Original Image: P02050.jpg
GT: gun
gun Detection preview by Box_v11_medium_train_SIXray_OPIXray gun Detection preview by DN_Medium_300_yolov8m_20t7_new gun Detection preview by Segmentatation_v8_medium_train_250 gun Detection preview by Segmentation_V11_large_300_train_300 gun Detection preview by Segmentation_v8_large_300_train_300
Original Image: P02051.jpg
GT: gun
gun Detection preview by Box_v11_medium_train_SIXray_OPIXray gun Detection preview by DN_Medium_300_yolov8m_20t7_new gun Detection preview by Segmentatation_v8_medium_train_250 gun Detection preview by Segmentation_V11_large_300_train_300 gun Detection preview by Segmentation_v8_large_300_train_300
Original Image: P02052.jpg
GT: gun
gun Detection preview by Box_v11_medium_train_SIXray_OPIXray gun Detection preview by DN_Medium_300_yolov8m_20t7_new gun Detection preview by Segmentatation_v8_medium_train_250 gun Detection preview by Segmentation_V11_large_300_train_300 gun Detection preview by Segmentation_v8_large_300_train_300
Original Image: P02053.jpg
GT: gun
gun Detection preview by Box_v11_medium_train_SIXray_OPIXray No objects detected Detection preview by DN_Medium_300_yolov8m_20t7_new gun Detection preview by Segmentatation_v8_medium_train_250 gun Detection preview by Segmentation_V11_large_300_train_300 gun Detection preview by Segmentation_v8_large_300_train_300
Original Image: P02054.jpg
GT: gun
gun Detection preview by Box_v11_medium_train_SIXray_OPIXray No objects detected Detection preview by DN_Medium_300_yolov8m_20t7_new gun Detection preview by Segmentatation_v8_medium_train_250 gun Detection preview by Segmentation_V11_large_300_train_300 gun Detection preview by Segmentation_v8_large_300_train_300
Original Image: P02055.jpg
GT: gun
gun Detection preview by Box_v11_medium_train_SIXray_OPIXray No objects detected Detection preview by DN_Medium_300_yolov8m_20t7_new gun Detection preview by Segmentatation_v8_medium_train_250 gun Detection preview by Segmentation_V11_large_300_train_300 gun Detection preview by Segmentation_v8_large_300_train_300
Original Image: P02056.jpg
GT: gun
gun Detection preview by Box_v11_medium_train_SIXray_OPIXray No objects detected Detection preview by DN_Medium_300_yolov8m_20t7_new gun Detection preview by Segmentatation_v8_medium_train_250 gun Detection preview by Segmentation_V11_large_300_train_300 gun Detection preview by Segmentation_v8_large_300_train_300
Original Image: P02057.jpg
GT: gun
gun Detection preview by Box_v11_medium_train_SIXray_OPIXray No objects detected Detection preview by DN_Medium_300_yolov8m_20t7_new gun Detection preview by Segmentatation_v8_medium_train_250 gun Detection preview by Segmentation_V11_large_300_train_300 gun Detection preview by Segmentation_v8_large_300_train_300
Original Image: P02058.jpg
GT: gun
gun Detection preview by Box_v11_medium_train_SIXray_OPIXray No objects detected Detection preview by DN_Medium_300_yolov8m_20t7_new gun Detection preview by Segmentatation_v8_medium_train_250 gun Detection preview by Segmentation_V11_large_300_train_300 gun Detection preview by Segmentation_v8_large_300_train_300
Original Image: P02059.jpg
GT: gun
gun Detection preview by Box_v11_medium_train_SIXray_OPIXray gun Detection preview by DN_Medium_300_yolov8m_20t7_new gun Detection preview by Segmentatation_v8_medium_train_250 gun Detection preview by Segmentation_V11_large_300_train_300 gun Detection preview by Segmentation_v8_large_300_train_300
Original Image: P02060.jpg
GT: gun
gun Detection preview by Box_v11_medium_train_SIXray_OPIXray gun Detection preview by DN_Medium_300_yolov8m_20t7_new gun Detection preview by Segmentatation_v8_medium_train_250 gun Detection preview by Segmentation_V11_large_300_train_300 gun Detection preview by Segmentation_v8_large_300_train_300
Original Image: P02061.jpg
GT: gun
gun Detection preview by Box_v11_medium_train_SIXray_OPIXray gun Detection preview by DN_Medium_300_yolov8m_20t7_new gun Detection preview by Segmentatation_v8_medium_train_250 gun Detection preview by Segmentation_V11_large_300_train_300 gun Detection preview by Segmentation_v8_large_300_train_300
Original Image: P02062.jpg
GT: gun
gun Detection preview by Box_v11_medium_train_SIXray_OPIXray gun Detection preview by DN_Medium_300_yolov8m_20t7_new gun Detection preview by Segmentatation_v8_medium_train_250 gun Detection preview by Segmentation_V11_large_300_train_300 gun Detection preview by Segmentation_v8_large_300_train_300
Original Image: P02063.jpg
GT: gun, pliers
gun, pliers Detection preview by Box_v11_medium_train_SIXray_OPIXray gun Detection preview by DN_Medium_300_yolov8m_20t7_new gun Detection preview by Segmentatation_v8_medium_train_250 gun Detection preview by Segmentation_V11_large_300_train_300 gun Detection preview by Segmentation_v8_large_300_train_300
Original Image: P02064.jpg
GT: gun, pliers
gun, pliers Detection preview by Box_v11_medium_train_SIXray_OPIXray gun Detection preview by DN_Medium_300_yolov8m_20t7_new gun Detection preview by Segmentatation_v8_medium_train_250 gun Detection preview by Segmentation_V11_large_300_train_300 gun Detection preview by Segmentation_v8_large_300_train_300
Original Image: P02065.jpg
GT: gun, pliers
gun, pliers Detection preview by Box_v11_medium_train_SIXray_OPIXray gun Detection preview by DN_Medium_300_yolov8m_20t7_new gun Detection preview by Segmentatation_v8_medium_train_250 gun Detection preview by Segmentation_V11_large_300_train_300 gun Detection preview by Segmentation_v8_large_300_train_300
Original Image: P02066.jpg
GT: gun, pliers
gun, pliers Detection preview by Box_v11_medium_train_SIXray_OPIXray No objects detected Detection preview by DN_Medium_300_yolov8m_20t7_new gun Detection preview by Segmentatation_v8_medium_train_250 gun Detection preview by Segmentation_V11_large_300_train_300 gun Detection preview by Segmentation_v8_large_300_train_300
Original Image: P02067.jpg
GT: gun, pliers
gun, pliers Detection preview by Box_v11_medium_train_SIXray_OPIXray gun Detection preview by DN_Medium_300_yolov8m_20t7_new gun Detection preview by Segmentatation_v8_medium_train_250 gun Detection preview by Segmentation_V11_large_300_train_300 gun Detection preview by Segmentation_v8_large_300_train_300
Original Image: P02068.jpg
GT: gun, pliers
gun, pliers Detection preview by Box_v11_medium_train_SIXray_OPIXray No objects detected Detection preview by DN_Medium_300_yolov8m_20t7_new gun Detection preview by Segmentatation_v8_medium_train_250 gun Detection preview by Segmentation_V11_large_300_train_300 gun Detection preview by Segmentation_v8_large_300_train_300
Original Image: P02069.jpg
GT: gun, pliers
gun, pliers Detection preview by Box_v11_medium_train_SIXray_OPIXray pliers Detection preview by DN_Medium_300_yolov8m_20t7_new gun Detection preview by Segmentatation_v8_medium_train_250 gun Detection preview by Segmentation_V11_large_300_train_300 gun Detection preview by Segmentation_v8_large_300_train_300
Original Image: P02070.jpg
GT: gun, pliers
gun, pliers Detection preview by Box_v11_medium_train_SIXray_OPIXray No objects detected Detection preview by DN_Medium_300_yolov8m_20t7_new gun Detection preview by Segmentatation_v8_medium_train_250 gun Detection preview by Segmentation_V11_large_300_train_300 gun Detection preview by Segmentation_v8_large_300_train_300
Original Image: P02071.jpg
GT: gun, pliers
gun, pliers Detection preview by Box_v11_medium_train_SIXray_OPIXray gun Detection preview by DN_Medium_300_yolov8m_20t7_new gun Detection preview by Segmentatation_v8_medium_train_250 gun Detection preview by Segmentation_V11_large_300_train_300 gun Detection preview by Segmentation_v8_large_300_train_300
Original Image: P02072.jpg
GT: gun, pliers
gun, pliers Detection preview by Box_v11_medium_train_SIXray_OPIXray gun Detection preview by DN_Medium_300_yolov8m_20t7_new gun Detection preview by Segmentatation_v8_medium_train_250 gun Detection preview by Segmentation_V11_large_300_train_300 gun Detection preview by Segmentation_v8_large_300_train_300
Original Image: P02073.jpg
GT: gun, pliers
gun, pliers Detection preview by Box_v11_medium_train_SIXray_OPIXray No objects detected Detection preview by DN_Medium_300_yolov8m_20t7_new gun Detection preview by Segmentatation_v8_medium_train_250 gun Detection preview by Segmentation_V11_large_300_train_300 gun Detection preview by Segmentation_v8_large_300_train_300
Original Image: P02074.jpg
GT: gun, pliers
gun, pliers Detection preview by Box_v11_medium_train_SIXray_OPIXray gun Detection preview by DN_Medium_300_yolov8m_20t7_new gun Detection preview by Segmentatation_v8_medium_train_250 gun Detection preview by Segmentation_V11_large_300_train_300 gun Detection preview by Segmentation_v8_large_300_train_300
Original Image: P02075.jpg
GT: gun, pliers
gun, pliers Detection preview by Box_v11_medium_train_SIXray_OPIXray gun Detection preview by DN_Medium_300_yolov8m_20t7_new gun Detection preview by Segmentatation_v8_medium_train_250 gun Detection preview by Segmentation_V11_large_300_train_300 gun Detection preview by Segmentation_v8_large_300_train_300
Original Image: P02076.jpg
GT: gun, pliers
gun, pliers Detection preview by Box_v11_medium_train_SIXray_OPIXray gun Detection preview by DN_Medium_300_yolov8m_20t7_new gun Detection preview by Segmentatation_v8_medium_train_250 gun Detection preview by Segmentation_V11_large_300_train_300 gun Detection preview by Segmentation_v8_large_300_train_300
Original Image: P02077.jpg
GT: gun, pliers
gun, pliers Detection preview by Box_v11_medium_train_SIXray_OPIXray gun Detection preview by DN_Medium_300_yolov8m_20t7_new gun Detection preview by Segmentatation_v8_medium_train_250 gun Detection preview by Segmentation_V11_large_300_train_300 gun Detection preview by Segmentation_v8_large_300_train_300
Original Image: P02078.jpg
GT: gun, pliers
gun, pliers Detection preview by Box_v11_medium_train_SIXray_OPIXray No objects detected Detection preview by DN_Medium_300_yolov8m_20t7_new gun Detection preview by Segmentatation_v8_medium_train_250 gun Detection preview by Segmentation_V11_large_300_train_300 gun Detection preview by Segmentation_v8_large_300_train_300
Original Image: P02079.jpg
GT: gun, pliers
gun, pliers Detection preview by Box_v11_medium_train_SIXray_OPIXray gun, pliers Detection preview by DN_Medium_300_yolov8m_20t7_new gun Detection preview by Segmentatation_v8_medium_train_250 gun Detection preview by Segmentation_V11_large_300_train_300 gun Detection preview by Segmentation_v8_large_300_train_300
Original Image: P02080.jpg
GT: gun, pliers
gun, pliers Detection preview by Box_v11_medium_train_SIXray_OPIXray gun Detection preview by DN_Medium_300_yolov8m_20t7_new gun Detection preview by Segmentatation_v8_medium_train_250 gun Detection preview by Segmentation_V11_large_300_train_300 gun Detection preview by Segmentation_v8_large_300_train_300
Original Image: P02081.jpg
GT: gun, pliers
gun, pliers Detection preview by Box_v11_medium_train_SIXray_OPIXray No objects detected Detection preview by DN_Medium_300_yolov8m_20t7_new gun Detection preview by Segmentatation_v8_medium_train_250 gun Detection preview by Segmentation_V11_large_300_train_300 gun Detection preview by Segmentation_v8_large_300_train_300
Original Image: P02082.jpg
GT: gun, pliers
gun, pliers Detection preview by Box_v11_medium_train_SIXray_OPIXray No objects detected Detection preview by DN_Medium_300_yolov8m_20t7_new gun Detection preview by Segmentatation_v8_medium_train_250 gun Detection preview by Segmentation_V11_large_300_train_300 gun Detection preview by Segmentation_v8_large_300_train_300
Original Image: P02083.jpg
GT: gun, pliers
gun, pliers Detection preview by Box_v11_medium_train_SIXray_OPIXray No objects detected Detection preview by DN_Medium_300_yolov8m_20t7_new gun Detection preview by Segmentatation_v8_medium_train_250 gun Detection preview by Segmentation_V11_large_300_train_300 gun Detection preview by Segmentation_v8_large_300_train_300
Original Image: P02084.jpg
GT: gun, pliers
gun, pliers Detection preview by Box_v11_medium_train_SIXray_OPIXray No objects detected Detection preview by DN_Medium_300_yolov8m_20t7_new gun Detection preview by Segmentatation_v8_medium_train_250 gun Detection preview by Segmentation_V11_large_300_train_300 gun Detection preview by Segmentation_v8_large_300_train_300
Original Image: P02085.jpg
GT: gun, pliers
gun, pliers Detection preview by Box_v11_medium_train_SIXray_OPIXray gun, pliers Detection preview by DN_Medium_300_yolov8m_20t7_new gun Detection preview by Segmentatation_v8_medium_train_250 gun Detection preview by Segmentation_V11_large_300_train_300 gun Detection preview by Segmentation_v8_large_300_train_300
Original Image: P02086.jpg
GT: gun, pliers
gun, pliers Detection preview by Box_v11_medium_train_SIXray_OPIXray gun, pliers Detection preview by DN_Medium_300_yolov8m_20t7_new gun Detection preview by Segmentatation_v8_medium_train_250 gun Detection preview by Segmentation_V11_large_300_train_300 gun Detection preview by Segmentation_v8_large_300_train_300
Original Image: P02087.jpg
GT: gun, pliers
gun, pliers Detection preview by Box_v11_medium_train_SIXray_OPIXray gun Detection preview by DN_Medium_300_yolov8m_20t7_new gun Detection preview by Segmentatation_v8_medium_train_250 gun Detection preview by Segmentation_V11_large_300_train_300 gun Detection preview by Segmentation_v8_large_300_train_300
Original Image: P02088.jpg
GT: gun, pliers
gun, pliers Detection preview by Box_v11_medium_train_SIXray_OPIXray gun Detection preview by DN_Medium_300_yolov8m_20t7_new gun Detection preview by Segmentatation_v8_medium_train_250 gun Detection preview by Segmentation_V11_large_300_train_300 gun Detection preview by Segmentation_v8_large_300_train_300
Original Image: P02089.jpg
GT: gun, pliers
gun, pliers Detection preview by Box_v11_medium_train_SIXray_OPIXray gun Detection preview by DN_Medium_300_yolov8m_20t7_new gun Detection preview by Segmentatation_v8_medium_train_250 gun Detection preview by Segmentation_V11_large_300_train_300 gun Detection preview by Segmentation_v8_large_300_train_300
Original Image: P02090.jpg
GT: gun, pliers
gun, pliers Detection preview by Box_v11_medium_train_SIXray_OPIXray gun Detection preview by DN_Medium_300_yolov8m_20t7_new gun Detection preview by Segmentatation_v8_medium_train_250 gun Detection preview by Segmentation_V11_large_300_train_300 gun Detection preview by Segmentation_v8_large_300_train_300
Original Image: P02091.jpg
GT: gun, pliers
gun, pliers Detection preview by Box_v11_medium_train_SIXray_OPIXray gun Detection preview by DN_Medium_300_yolov8m_20t7_new gun Detection preview by Segmentatation_v8_medium_train_250 gun Detection preview by Segmentation_V11_large_300_train_300 gun Detection preview by Segmentation_v8_large_300_train_300
Original Image: P02092.jpg
GT: gun, pliers
gun, pliers Detection preview by Box_v11_medium_train_SIXray_OPIXray gun Detection preview by DN_Medium_300_yolov8m_20t7_new gun Detection preview by Segmentatation_v8_medium_train_250 gun Detection preview by Segmentation_V11_large_300_train_300 gun Detection preview by Segmentation_v8_large_300_train_300
Original Image: P02093.jpg
GT: gun, pliers
gun, pliers Detection preview by Box_v11_medium_train_SIXray_OPIXray No objects detected Detection preview by DN_Medium_300_yolov8m_20t7_new gun Detection preview by Segmentatation_v8_medium_train_250 gun Detection preview by Segmentation_V11_large_300_train_300 gun Detection preview by Segmentation_v8_large_300_train_300
Original Image: P02094.jpg
GT: gun, pliers
gun, pliers Detection preview by Box_v11_medium_train_SIXray_OPIXray No objects detected Detection preview by DN_Medium_300_yolov8m_20t7_new gun Detection preview by Segmentatation_v8_medium_train_250 gun Detection preview by Segmentation_V11_large_300_train_300 gun Detection preview by Segmentation_v8_large_300_train_300
Original Image: P02095.jpg
GT: gun, pliers
gun, pliers Detection preview by Box_v11_medium_train_SIXray_OPIXray No objects detected Detection preview by DN_Medium_300_yolov8m_20t7_new gun Detection preview by Segmentatation_v8_medium_train_250 gun Detection preview by Segmentation_V11_large_300_train_300 gun Detection preview by Segmentation_v8_large_300_train_300
Original Image: P02096.jpg
GT: gun, pliers
gun, pliers Detection preview by Box_v11_medium_train_SIXray_OPIXray No objects detected Detection preview by DN_Medium_300_yolov8m_20t7_new gun Detection preview by Segmentatation_v8_medium_train_250 gun Detection preview by Segmentation_V11_large_300_train_300 gun Detection preview by Segmentation_v8_large_300_train_300
Original Image: P02097.jpg
GT: gun
gun Detection preview by Box_v11_medium_train_SIXray_OPIXray No objects detected Detection preview by DN_Medium_300_yolov8m_20t7_new gun Detection preview by Segmentatation_v8_medium_train_250 gun Detection preview by Segmentation_V11_large_300_train_300 gun Detection preview by Segmentation_v8_large_300_train_300
Original Image: P02098.jpg
GT: gun
gun Detection preview by Box_v11_medium_train_SIXray_OPIXray No objects detected Detection preview by DN_Medium_300_yolov8m_20t7_new gun Detection preview by Segmentatation_v8_medium_train_250 gun Detection preview by Segmentation_V11_large_300_train_300 gun Detection preview by Segmentation_v8_large_300_train_300
Original Image: P02099.jpg
GT: gun
gun Detection preview by Box_v11_medium_train_SIXray_OPIXray No objects detected Detection preview by DN_Medium_300_yolov8m_20t7_new gun Detection preview by Segmentatation_v8_medium_train_250 gun Detection preview by Segmentation_V11_large_300_train_300 gun Detection preview by Segmentation_v8_large_300_train_300
Original Image: P02100.jpg
GT: gun
gun Detection preview by Box_v11_medium_train_SIXray_OPIXray No objects detected Detection preview by DN_Medium_300_yolov8m_20t7_new gun Detection preview by Segmentatation_v8_medium_train_250 gun Detection preview by Segmentation_V11_large_300_train_300 gun Detection preview by Segmentation_v8_large_300_train_300
Original Image: P02101.jpg
GT: gun
gun Detection preview by Box_v11_medium_train_SIXray_OPIXray No objects detected Detection preview by DN_Medium_300_yolov8m_20t7_new gun Detection preview by Segmentatation_v8_medium_train_250 gun Detection preview by Segmentation_V11_large_300_train_300 gun Detection preview by Segmentation_v8_large_300_train_300
Original Image: P02102.jpg
GT: gun
gun Detection preview by Box_v11_medium_train_SIXray_OPIXray No objects detected Detection preview by DN_Medium_300_yolov8m_20t7_new gun Detection preview by Segmentatation_v8_medium_train_250 gun Detection preview by Segmentation_V11_large_300_train_300 gun Detection preview by Segmentation_v8_large_300_train_300
Original Image: P02103.jpg
GT: gun
gun Detection preview by Box_v11_medium_train_SIXray_OPIXray No objects detected Detection preview by DN_Medium_300_yolov8m_20t7_new gun Detection preview by Segmentatation_v8_medium_train_250 gun Detection preview by Segmentation_V11_large_300_train_300 gun Detection preview by Segmentation_v8_large_300_train_300
Original Image: P02104.jpg
GT: gun
gun Detection preview by Box_v11_medium_train_SIXray_OPIXray No objects detected Detection preview by DN_Medium_300_yolov8m_20t7_new gun Detection preview by Segmentatation_v8_medium_train_250 gun Detection preview by Segmentation_V11_large_300_train_300 gun Detection preview by Segmentation_v8_large_300_train_300
Original Image: P02105.jpg
GT: gun
gun Detection preview by Box_v11_medium_train_SIXray_OPIXray gun Detection preview by DN_Medium_300_yolov8m_20t7_new gun Detection preview by Segmentatation_v8_medium_train_250 gun Detection preview by Segmentation_V11_large_300_train_300 gun Detection preview by Segmentation_v8_large_300_train_300
Original Image: P02106.jpg
GT: gun
gun Detection preview by Box_v11_medium_train_SIXray_OPIXray No objects detected Detection preview by DN_Medium_300_yolov8m_20t7_new gun Detection preview by Segmentatation_v8_medium_train_250 gun Detection preview by Segmentation_V11_large_300_train_300 gun Detection preview by Segmentation_v8_large_300_train_300
Original Image: P02107.jpg
GT: gun
gun Detection preview by Box_v11_medium_train_SIXray_OPIXray No objects detected Detection preview by DN_Medium_300_yolov8m_20t7_new gun Detection preview by Segmentatation_v8_medium_train_250 gun Detection preview by Segmentation_V11_large_300_train_300 gun Detection preview by Segmentation_v8_large_300_train_300
Original Image: P02108.jpg
GT: gun
gun Detection preview by Box_v11_medium_train_SIXray_OPIXray No objects detected Detection preview by DN_Medium_300_yolov8m_20t7_new gun Detection preview by Segmentatation_v8_medium_train_250 gun Detection preview by Segmentation_V11_large_300_train_300 gun Detection preview by Segmentation_v8_large_300_train_300
Original Image: P02109.jpg
GT: gun
gun Detection preview by Box_v11_medium_train_SIXray_OPIXray No objects detected Detection preview by DN_Medium_300_yolov8m_20t7_new gun Detection preview by Segmentatation_v8_medium_train_250 gun Detection preview by Segmentation_V11_large_300_train_300 gun Detection preview by Segmentation_v8_large_300_train_300
Original Image: P02110.jpg
GT: gun
gun Detection preview by Box_v11_medium_train_SIXray_OPIXray No objects detected Detection preview by DN_Medium_300_yolov8m_20t7_new gun Detection preview by Segmentatation_v8_medium_train_250 gun Detection preview by Segmentation_V11_large_300_train_300 gun Detection preview by Segmentation_v8_large_300_train_300
Original Image: P02111.jpg
GT: gun
gun Detection preview by Box_v11_medium_train_SIXray_OPIXray No objects detected Detection preview by DN_Medium_300_yolov8m_20t7_new gun Detection preview by Segmentatation_v8_medium_train_250 gun Detection preview by Segmentation_V11_large_300_train_300 gun Detection preview by Segmentation_v8_large_300_train_300
Original Image: P02112.jpg
GT: gun
gun Detection preview by Box_v11_medium_train_SIXray_OPIXray No objects detected Detection preview by DN_Medium_300_yolov8m_20t7_new gun Detection preview by Segmentatation_v8_medium_train_250 gun Detection preview by Segmentation_V11_large_300_train_300 gun Detection preview by Segmentation_v8_large_300_train_300
Original Image: P02113.jpg
GT: gun
gun Detection preview by Box_v11_medium_train_SIXray_OPIXray No objects detected Detection preview by DN_Medium_300_yolov8m_20t7_new gun Detection preview by Segmentatation_v8_medium_train_250 gun Detection preview by Segmentation_V11_large_300_train_300 gun Detection preview by Segmentation_v8_large_300_train_300
Original Image: P02114.jpg
GT: gun
gun Detection preview by Box_v11_medium_train_SIXray_OPIXray No objects detected Detection preview by DN_Medium_300_yolov8m_20t7_new gun Detection preview by Segmentatation_v8_medium_train_250 gun Detection preview by Segmentation_V11_large_300_train_300 gun Detection preview by Segmentation_v8_large_300_train_300
Original Image: P02115.jpg
GT: gun
gun Detection preview by Box_v11_medium_train_SIXray_OPIXray No objects detected Detection preview by DN_Medium_300_yolov8m_20t7_new gun Detection preview by Segmentatation_v8_medium_train_250 gun Detection preview by Segmentation_V11_large_300_train_300 gun Detection preview by Segmentation_v8_large_300_train_300
Original Image: P02116.jpg
GT: gun
gun Detection preview by Box_v11_medium_train_SIXray_OPIXray No objects detected Detection preview by DN_Medium_300_yolov8m_20t7_new gun Detection preview by Segmentatation_v8_medium_train_250 gun Detection preview by Segmentation_V11_large_300_train_300 gun Detection preview by Segmentation_v8_large_300_train_300
Original Image: P02117.jpg
GT: gun
gun Detection preview by Box_v11_medium_train_SIXray_OPIXray No objects detected Detection preview by DN_Medium_300_yolov8m_20t7_new gun Detection preview by Segmentatation_v8_medium_train_250 gun Detection preview by Segmentation_V11_large_300_train_300 gun Detection preview by Segmentation_v8_large_300_train_300
Original Image: P02118.jpg
GT: gun
gun Detection preview by Box_v11_medium_train_SIXray_OPIXray No objects detected Detection preview by DN_Medium_300_yolov8m_20t7_new gun Detection preview by Segmentatation_v8_medium_train_250 gun Detection preview by Segmentation_V11_large_300_train_300 gun Detection preview by Segmentation_v8_large_300_train_300
Original Image: P02119.jpg
GT: gun
gun Detection preview by Box_v11_medium_train_SIXray_OPIXray No objects detected Detection preview by DN_Medium_300_yolov8m_20t7_new gun Detection preview by Segmentatation_v8_medium_train_250 gun Detection preview by Segmentation_V11_large_300_train_300 gun Detection preview by Segmentation_v8_large_300_train_300
Original Image: P02120.jpg
GT: gun
gun Detection preview by Box_v11_medium_train_SIXray_OPIXray No objects detected Detection preview by DN_Medium_300_yolov8m_20t7_new gun Detection preview by Segmentatation_v8_medium_train_250 gun Detection preview by Segmentation_V11_large_300_train_300 gun Detection preview by Segmentation_v8_large_300_train_300
Original Image: P02121.jpg
GT: gun
gun Detection preview by Box_v11_medium_train_SIXray_OPIXray No objects detected Detection preview by DN_Medium_300_yolov8m_20t7_new gun Detection preview by Segmentatation_v8_medium_train_250 gun Detection preview by Segmentation_V11_large_300_train_300 gun Detection preview by Segmentation_v8_large_300_train_300
Original Image: P02122.jpg
GT: gun, wrench
gun, wrench Detection preview by Box_v11_medium_train_SIXray_OPIXray gun Detection preview by DN_Medium_300_yolov8m_20t7_new gun, wrench Detection preview by Segmentatation_v8_medium_train_250 gun, wrench Detection preview by Segmentation_V11_large_300_train_300 gun, wrench Detection preview by Segmentation_v8_large_300_train_300
Original Image: P02123.jpg
GT: gun, wrench
gun, wrench Detection preview by Box_v11_medium_train_SIXray_OPIXray gun Detection preview by DN_Medium_300_yolov8m_20t7_new gun, wrench Detection preview by Segmentatation_v8_medium_train_250 gun, wrench Detection preview by Segmentation_V11_large_300_train_300 gun, wrench Detection preview by Segmentation_v8_large_300_train_300
Original Image: P02124.jpg
GT: gun, pliers, wrench
gun, pliers, wrench Detection preview by Box_v11_medium_train_SIXray_OPIXray gun Detection preview by DN_Medium_300_yolov8m_20t7_new gun, wrench Detection preview by Segmentatation_v8_medium_train_250 gun, wrench Detection preview by Segmentation_V11_large_300_train_300 gun, wrench Detection preview by Segmentation_v8_large_300_train_300
Original Image: P02125.jpg
GT: gun, pliers, wrench
gun, pliers, wrench Detection preview by Box_v11_medium_train_SIXray_OPIXray gun Detection preview by DN_Medium_300_yolov8m_20t7_new gun, wrench Detection preview by Segmentatation_v8_medium_train_250 gun, wrench Detection preview by Segmentation_V11_large_300_train_300 gun, wrench Detection preview by Segmentation_v8_large_300_train_300
Original Image: P02126.jpg
GT: gun, pliers, wrench
gun, pliers, wrench Detection preview by Box_v11_medium_train_SIXray_OPIXray pliers, wrench Detection preview by DN_Medium_300_yolov8m_20t7_new gun, wrench Detection preview by Segmentatation_v8_medium_train_250 gun, wrench Detection preview by Segmentation_V11_large_300_train_300 gun, wrench Detection preview by Segmentation_v8_large_300_train_300
Original Image: P02127.jpg
GT: gun, pliers, wrench
gun, pliers, wrench Detection preview by Box_v11_medium_train_SIXray_OPIXray pliers, wrench Detection preview by DN_Medium_300_yolov8m_20t7_new gun, wrench Detection preview by Segmentatation_v8_medium_train_250 gun, wrench Detection preview by Segmentation_V11_large_300_train_300 gun, wrench Detection preview by Segmentation_v8_large_300_train_300
Original Image: P02128.jpg
GT: gun, pliers, wrench
gun, pliers, wrench Detection preview by Box_v11_medium_train_SIXray_OPIXray No objects detected Detection preview by DN_Medium_300_yolov8m_20t7_new gun, wrench Detection preview by Segmentatation_v8_medium_train_250 gun, wrench Detection preview by Segmentation_V11_large_300_train_300 gun, wrench Detection preview by Segmentation_v8_large_300_train_300
Original Image: P02129.jpg
GT: gun, pliers, wrench
gun, pliers, wrench Detection preview by Box_v11_medium_train_SIXray_OPIXray No objects detected Detection preview by DN_Medium_300_yolov8m_20t7_new gun, wrench Detection preview by Segmentatation_v8_medium_train_250 gun, wrench Detection preview by Segmentation_V11_large_300_train_300 gun, wrench Detection preview by Segmentation_v8_large_300_train_300
Original Image: P02130.jpg
GT: gun, pliers, wrench
gun, pliers, wrench Detection preview by Box_v11_medium_train_SIXray_OPIXray wrench Detection preview by DN_Medium_300_yolov8m_20t7_new gun, wrench Detection preview by Segmentatation_v8_medium_train_250 gun, wrench Detection preview by Segmentation_V11_large_300_train_300 gun, wrench Detection preview by Segmentation_v8_large_300_train_300
Original Image: P02131.jpg
GT: gun, pliers, wrench
gun, pliers, wrench Detection preview by Box_v11_medium_train_SIXray_OPIXray gun Detection preview by DN_Medium_300_yolov8m_20t7_new gun, wrench Detection preview by Segmentatation_v8_medium_train_250 gun, wrench Detection preview by Segmentation_V11_large_300_train_300 gun, wrench Detection preview by Segmentation_v8_large_300_train_300
Original Image: P02132.jpg
GT: gun, pliers, wrench
gun, pliers, wrench Detection preview by Box_v11_medium_train_SIXray_OPIXray No objects detected Detection preview by DN_Medium_300_yolov8m_20t7_new gun, wrench Detection preview by Segmentatation_v8_medium_train_250 gun, wrench Detection preview by Segmentation_V11_large_300_train_300 gun, wrench Detection preview by Segmentation_v8_large_300_train_300
Original Image: P02133.jpg
GT: gun, pliers, wrench
gun, pliers, wrench Detection preview by Box_v11_medium_train_SIXray_OPIXray gun Detection preview by DN_Medium_300_yolov8m_20t7_new gun, wrench Detection preview by Segmentatation_v8_medium_train_250 gun, wrench Detection preview by Segmentation_V11_large_300_train_300 gun, wrench Detection preview by Segmentation_v8_large_300_train_300
Original Image: P02134.jpg
GT: gun, pliers, wrench
gun, pliers, wrench Detection preview by Box_v11_medium_train_SIXray_OPIXray gun Detection preview by DN_Medium_300_yolov8m_20t7_new gun, wrench Detection preview by Segmentatation_v8_medium_train_250 gun, wrench Detection preview by Segmentation_V11_large_300_train_300 gun, wrench Detection preview by Segmentation_v8_large_300_train_300
Original Image: P02135.jpg
GT: gun, pliers, wrench
gun, pliers, wrench Detection preview by Box_v11_medium_train_SIXray_OPIXray gun, wrench Detection preview by DN_Medium_300_yolov8m_20t7_new gun, wrench Detection preview by Segmentatation_v8_medium_train_250 gun, wrench Detection preview by Segmentation_V11_large_300_train_300 gun, wrench Detection preview by Segmentation_v8_large_300_train_300
Original Image: P02136.jpg
GT: gun, pliers, wrench
gun, pliers, wrench Detection preview by Box_v11_medium_train_SIXray_OPIXray gun Detection preview by DN_Medium_300_yolov8m_20t7_new gun, wrench Detection preview by Segmentatation_v8_medium_train_250 gun, wrench Detection preview by Segmentation_V11_large_300_train_300 gun, wrench Detection preview by Segmentation_v8_large_300_train_300
Original Image: P02137.jpg
GT: gun, pliers, wrench
gun, pliers, wrench Detection preview by Box_v11_medium_train_SIXray_OPIXray gun Detection preview by DN_Medium_300_yolov8m_20t7_new gun, wrench Detection preview by Segmentatation_v8_medium_train_250 gun, wrench Detection preview by Segmentation_V11_large_300_train_300 gun, wrench Detection preview by Segmentation_v8_large_300_train_300
Original Image: P02138.jpg
GT: gun, pliers, wrench
gun, pliers, wrench Detection preview by Box_v11_medium_train_SIXray_OPIXray gun Detection preview by DN_Medium_300_yolov8m_20t7_new gun, wrench Detection preview by Segmentatation_v8_medium_train_250 gun, wrench Detection preview by Segmentation_V11_large_300_train_300 gun, wrench Detection preview by Segmentation_v8_large_300_train_300
Original Image: P02139.jpg
GT: gun, pliers, wrench
gun, pliers, wrench Detection preview by Box_v11_medium_train_SIXray_OPIXray gun Detection preview by DN_Medium_300_yolov8m_20t7_new gun, wrench Detection preview by Segmentatation_v8_medium_train_250 gun, wrench Detection preview by Segmentation_V11_large_300_train_300 gun, wrench Detection preview by Segmentation_v8_large_300_train_300
Original Image: P02140.jpg
GT: gun, pliers, wrench
gun, pliers, wrench Detection preview by Box_v11_medium_train_SIXray_OPIXray gun Detection preview by DN_Medium_300_yolov8m_20t7_new gun, wrench Detection preview by Segmentatation_v8_medium_train_250 gun, wrench Detection preview by Segmentation_V11_large_300_train_300 gun, wrench Detection preview by Segmentation_v8_large_300_train_300
Original Image: P02141.jpg
GT: gun, pliers, wrench
gun, pliers, wrench Detection preview by Box_v11_medium_train_SIXray_OPIXray gun, pliers Detection preview by DN_Medium_300_yolov8m_20t7_new gun, wrench Detection preview by Segmentatation_v8_medium_train_250 gun, wrench Detection preview by Segmentation_V11_large_300_train_300 gun, wrench Detection preview by Segmentation_v8_large_300_train_300
Original Image: P02142.jpg
GT: gun, pliers, wrench
gun, pliers, wrench Detection preview by Box_v11_medium_train_SIXray_OPIXray gun, pliers Detection preview by DN_Medium_300_yolov8m_20t7_new gun, wrench Detection preview by Segmentatation_v8_medium_train_250 gun, wrench Detection preview by Segmentation_V11_large_300_train_300 gun, wrench Detection preview by Segmentation_v8_large_300_train_300
Original Image: P02143.jpg
GT: gun, pliers, wrench
gun, pliers, wrench Detection preview by Box_v11_medium_train_SIXray_OPIXray gun Detection preview by DN_Medium_300_yolov8m_20t7_new gun, wrench Detection preview by Segmentatation_v8_medium_train_250 gun, wrench Detection preview by Segmentation_V11_large_300_train_300 gun, wrench Detection preview by Segmentation_v8_large_300_train_300
Original Image: P02144.jpg
GT: gun, pliers, wrench
gun, pliers, wrench Detection preview by Box_v11_medium_train_SIXray_OPIXray gun, wrench Detection preview by DN_Medium_300_yolov8m_20t7_new gun, wrench Detection preview by Segmentatation_v8_medium_train_250 gun, wrench Detection preview by Segmentation_V11_large_300_train_300 gun, wrench Detection preview by Segmentation_v8_large_300_train_300
Original Image: P02145.jpg
GT: gun, pliers, wrench
gun, pliers, wrench Detection preview by Box_v11_medium_train_SIXray_OPIXray gun, wrench Detection preview by DN_Medium_300_yolov8m_20t7_new gun, wrench Detection preview by Segmentatation_v8_medium_train_250 gun, wrench Detection preview by Segmentation_V11_large_300_train_300 gun, wrench Detection preview by Segmentation_v8_large_300_train_300
Original Image: P02146.jpg
GT: gun, pliers, wrench
gun, pliers, wrench Detection preview by Box_v11_medium_train_SIXray_OPIXray gun Detection preview by DN_Medium_300_yolov8m_20t7_new gun, wrench Detection preview by Segmentatation_v8_medium_train_250 gun, wrench Detection preview by Segmentation_V11_large_300_train_300 gun, wrench Detection preview by Segmentation_v8_large_300_train_300
Original Image: P02147.jpg
GT: gun, pliers, wrench
gun, pliers, wrench Detection preview by Box_v11_medium_train_SIXray_OPIXray gun, pliers Detection preview by DN_Medium_300_yolov8m_20t7_new gun, wrench Detection preview by Segmentatation_v8_medium_train_250 gun, wrench Detection preview by Segmentation_V11_large_300_train_300 gun, wrench Detection preview by Segmentation_v8_large_300_train_300
Original Image: P02148.jpg
GT: gun, pliers, wrench
gun, pliers, wrench Detection preview by Box_v11_medium_train_SIXray_OPIXray gun, pliers Detection preview by DN_Medium_300_yolov8m_20t7_new gun, wrench Detection preview by Segmentatation_v8_medium_train_250 gun, wrench Detection preview by Segmentation_V11_large_300_train_300 gun, wrench Detection preview by Segmentation_v8_large_300_train_300
Original Image: P02149.jpg
GT: gun, pliers, wrench
gun, pliers, wrench Detection preview by Box_v11_medium_train_SIXray_OPIXray gun, pliers Detection preview by DN_Medium_300_yolov8m_20t7_new gun, wrench Detection preview by Segmentatation_v8_medium_train_250 gun, wrench Detection preview by Segmentation_V11_large_300_train_300 gun, wrench Detection preview by Segmentation_v8_large_300_train_300
Original Image: P02150.jpg
GT: gun, pliers, wrench
gun, pliers, wrench Detection preview by Box_v11_medium_train_SIXray_OPIXray gun Detection preview by DN_Medium_300_yolov8m_20t7_new gun, wrench Detection preview by Segmentatation_v8_medium_train_250 gun, wrench Detection preview by Segmentation_V11_large_300_train_300 gun, wrench Detection preview by Segmentation_v8_large_300_train_300
Original Image: P02151.jpg
GT: gun, pliers, wrench
gun, pliers, wrench Detection preview by Box_v11_medium_train_SIXray_OPIXray gun Detection preview by DN_Medium_300_yolov8m_20t7_new gun, wrench Detection preview by Segmentatation_v8_medium_train_250 gun, wrench Detection preview by Segmentation_V11_large_300_train_300 gun, wrench Detection preview by Segmentation_v8_large_300_train_300
Original Image: P02152.jpg
GT: gun, pliers, wrench
gun, pliers, wrench Detection preview by Box_v11_medium_train_SIXray_OPIXray gun Detection preview by DN_Medium_300_yolov8m_20t7_new gun, wrench Detection preview by Segmentatation_v8_medium_train_250 gun, wrench Detection preview by Segmentation_V11_large_300_train_300 gun, wrench Detection preview by Segmentation_v8_large_300_train_300
Original Image: P02153.jpg
GT: gun, pliers, wrench
gun, pliers, wrench Detection preview by Box_v11_medium_train_SIXray_OPIXray gun Detection preview by DN_Medium_300_yolov8m_20t7_new gun, wrench Detection preview by Segmentatation_v8_medium_train_250 gun, wrench Detection preview by Segmentation_V11_large_300_train_300 gun, wrench Detection preview by Segmentation_v8_large_300_train_300
Original Image: P02154.jpg
GT: gun, pliers, wrench
gun, pliers, wrench Detection preview by Box_v11_medium_train_SIXray_OPIXray gun Detection preview by DN_Medium_300_yolov8m_20t7_new gun, wrench Detection preview by Segmentatation_v8_medium_train_250 gun, wrench Detection preview by Segmentation_V11_large_300_train_300 gun, wrench Detection preview by Segmentation_v8_large_300_train_300
Original Image: P02155.jpg
GT: gun, pliers, wrench
gun, pliers, wrench Detection preview by Box_v11_medium_train_SIXray_OPIXray gun, pliers Detection preview by DN_Medium_300_yolov8m_20t7_new gun, wrench Detection preview by Segmentatation_v8_medium_train_250 gun, wrench Detection preview by Segmentation_V11_large_300_train_300 gun, wrench Detection preview by Segmentation_v8_large_300_train_300
Original Image: P02156.jpg
GT: gun, pliers, wrench
gun, pliers, wrench Detection preview by Box_v11_medium_train_SIXray_OPIXray gun, pliers Detection preview by DN_Medium_300_yolov8m_20t7_new gun, wrench Detection preview by Segmentatation_v8_medium_train_250 gun, wrench Detection preview by Segmentation_V11_large_300_train_300 gun, wrench Detection preview by Segmentation_v8_large_300_train_300
Original Image: P02157.jpg
GT: gun, pliers, wrench
gun, pliers, wrench Detection preview by Box_v11_medium_train_SIXray_OPIXray gun Detection preview by DN_Medium_300_yolov8m_20t7_new gun, wrench Detection preview by Segmentatation_v8_medium_train_250 gun, wrench Detection preview by Segmentation_V11_large_300_train_300 gun, wrench Detection preview by Segmentation_v8_large_300_train_300
Original Image: P02158.jpg
GT: gun, pliers, wrench
gun, pliers, wrench Detection preview by Box_v11_medium_train_SIXray_OPIXray gun Detection preview by DN_Medium_300_yolov8m_20t7_new gun, wrench Detection preview by Segmentatation_v8_medium_train_250 gun, wrench Detection preview by Segmentation_V11_large_300_train_300 gun, wrench Detection preview by Segmentation_v8_large_300_train_300
Original Image: P02159.jpg
GT: gun, pliers, wrench
gun, pliers, wrench Detection preview by Box_v11_medium_train_SIXray_OPIXray gun Detection preview by DN_Medium_300_yolov8m_20t7_new gun, wrench Detection preview by Segmentatation_v8_medium_train_250 gun, wrench Detection preview by Segmentation_V11_large_300_train_300 gun, wrench Detection preview by Segmentation_v8_large_300_train_300
Original Image: P02160.jpg
GT: gun, pliers, wrench
gun, pliers, wrench Detection preview by Box_v11_medium_train_SIXray_OPIXray gun, wrench Detection preview by DN_Medium_300_yolov8m_20t7_new gun, wrench Detection preview by Segmentatation_v8_medium_train_250 gun, wrench Detection preview by Segmentation_V11_large_300_train_300 gun, wrench Detection preview by Segmentation_v8_large_300_train_300
Original Image: P02161.jpg
GT: gun, pliers, wrench
gun, pliers, wrench Detection preview by Box_v11_medium_train_SIXray_OPIXray gun, pliers, wrench Detection preview by DN_Medium_300_yolov8m_20t7_new gun, wrench Detection preview by Segmentatation_v8_medium_train_250 gun, wrench Detection preview by Segmentation_V11_large_300_train_300 gun, wrench Detection preview by Segmentation_v8_large_300_train_300
Original Image: P02162.jpg
GT: gun, pliers, wrench
gun, pliers, wrench Detection preview by Box_v11_medium_train_SIXray_OPIXray gun, wrench Detection preview by DN_Medium_300_yolov8m_20t7_new gun, wrench Detection preview by Segmentatation_v8_medium_train_250 gun, wrench Detection preview by Segmentation_V11_large_300_train_300 gun, wrench Detection preview by Segmentation_v8_large_300_train_300
Original Image: P02163.jpg
GT: gun, pliers, wrench
gun, pliers, wrench Detection preview by Box_v11_medium_train_SIXray_OPIXray gun, pliers, wrench Detection preview by DN_Medium_300_yolov8m_20t7_new gun, wrench Detection preview by Segmentatation_v8_medium_train_250 gun, wrench Detection preview by Segmentation_V11_large_300_train_300 gun, wrench Detection preview by Segmentation_v8_large_300_train_300
Original Image: P02164.jpg
GT: gun, pliers, wrench
gun, pliers, wrench Detection preview by Box_v11_medium_train_SIXray_OPIXray gun, pliers Detection preview by DN_Medium_300_yolov8m_20t7_new gun, wrench Detection preview by Segmentatation_v8_medium_train_250 gun, wrench Detection preview by Segmentation_V11_large_300_train_300 gun, wrench Detection preview by Segmentation_v8_large_300_train_300
Original Image: P02165.jpg
GT: gun, pliers, wrench
gun, pliers, wrench Detection preview by Box_v11_medium_train_SIXray_OPIXray gun, pliers Detection preview by DN_Medium_300_yolov8m_20t7_new gun, wrench Detection preview by Segmentatation_v8_medium_train_250 gun, wrench Detection preview by Segmentation_V11_large_300_train_300 gun, wrench Detection preview by Segmentation_v8_large_300_train_300
Original Image: P02166.jpg
GT: gun, pliers, wrench
gun, pliers, wrench Detection preview by Box_v11_medium_train_SIXray_OPIXray gun Detection preview by DN_Medium_300_yolov8m_20t7_new gun, wrench Detection preview by Segmentatation_v8_medium_train_250 gun, wrench Detection preview by Segmentation_V11_large_300_train_300 gun, wrench Detection preview by Segmentation_v8_large_300_train_300
Original Image: P02167.jpg
GT: gun, pliers, wrench
gun, pliers, wrench Detection preview by Box_v11_medium_train_SIXray_OPIXray gun, pliers Detection preview by DN_Medium_300_yolov8m_20t7_new gun, wrench Detection preview by Segmentatation_v8_medium_train_250 gun, wrench Detection preview by Segmentation_V11_large_300_train_300 gun, wrench Detection preview by Segmentation_v8_large_300_train_300
Original Image: P02168.jpg
GT: gun, pliers, wrench
gun, pliers, wrench Detection preview by Box_v11_medium_train_SIXray_OPIXray gun, pliers Detection preview by DN_Medium_300_yolov8m_20t7_new gun, wrench Detection preview by Segmentatation_v8_medium_train_250 gun, wrench Detection preview by Segmentation_V11_large_300_train_300 gun, wrench Detection preview by Segmentation_v8_large_300_train_300
Original Image: P02169.jpg
GT: gun, pliers, wrench
gun, pliers, wrench Detection preview by Box_v11_medium_train_SIXray_OPIXray No objects detected Detection preview by DN_Medium_300_yolov8m_20t7_new gun, wrench Detection preview by Segmentatation_v8_medium_train_250 gun, wrench Detection preview by Segmentation_V11_large_300_train_300 gun, wrench Detection preview by Segmentation_v8_large_300_train_300
Original Image: P02170.jpg
GT: gun, pliers, wrench
gun, pliers, wrench Detection preview by Box_v11_medium_train_SIXray_OPIXray pliers Detection preview by DN_Medium_300_yolov8m_20t7_new gun, wrench Detection preview by Segmentatation_v8_medium_train_250 gun, wrench Detection preview by Segmentation_V11_large_300_train_300 gun, wrench Detection preview by Segmentation_v8_large_300_train_300
Original Image: P02171.jpg
GT: gun, pliers, wrench
gun, pliers, wrench Detection preview by Box_v11_medium_train_SIXray_OPIXray gun, wrench Detection preview by DN_Medium_300_yolov8m_20t7_new gun, wrench Detection preview by Segmentatation_v8_medium_train_250 gun, wrench Detection preview by Segmentation_V11_large_300_train_300 gun, wrench Detection preview by Segmentation_v8_large_300_train_300
Original Image: P02172.jpg
GT: gun, pliers, wrench
gun, pliers, wrench Detection preview by Box_v11_medium_train_SIXray_OPIXray gun, wrench Detection preview by DN_Medium_300_yolov8m_20t7_new gun, wrench Detection preview by Segmentatation_v8_medium_train_250 gun, wrench Detection preview by Segmentation_V11_large_300_train_300 gun, wrench Detection preview by Segmentation_v8_large_300_train_300
Original Image: P02173.jpg
GT: gun
gun Detection preview by Box_v11_medium_train_SIXray_OPIXray No objects detected Detection preview by DN_Medium_300_yolov8m_20t7_new gun Detection preview by Segmentatation_v8_medium_train_250 gun Detection preview by Segmentation_V11_large_300_train_300 gun Detection preview by Segmentation_v8_large_300_train_300
Original Image: P02174.jpg
GT: gun
gun Detection preview by Box_v11_medium_train_SIXray_OPIXray No objects detected Detection preview by DN_Medium_300_yolov8m_20t7_new gun Detection preview by Segmentatation_v8_medium_train_250 gun Detection preview by Segmentation_V11_large_300_train_300 gun Detection preview by Segmentation_v8_large_300_train_300
Original Image: P02175.jpg
GT: gun
gun Detection preview by Box_v11_medium_train_SIXray_OPIXray No objects detected Detection preview by DN_Medium_300_yolov8m_20t7_new gun Detection preview by Segmentatation_v8_medium_train_250 gun Detection preview by Segmentation_V11_large_300_train_300 gun Detection preview by Segmentation_v8_large_300_train_300
Original Image: P02176.jpg
GT: gun
gun Detection preview by Box_v11_medium_train_SIXray_OPIXray gun Detection preview by DN_Medium_300_yolov8m_20t7_new gun Detection preview by Segmentatation_v8_medium_train_250 gun Detection preview by Segmentation_V11_large_300_train_300 gun Detection preview by Segmentation_v8_large_300_train_300
Original Image: P02177.jpg
GT: gun
gun Detection preview by Box_v11_medium_train_SIXray_OPIXray No objects detected Detection preview by DN_Medium_300_yolov8m_20t7_new gun Detection preview by Segmentatation_v8_medium_train_250 gun Detection preview by Segmentation_V11_large_300_train_300 gun Detection preview by Segmentation_v8_large_300_train_300
Original Image: P02178.jpg
GT: gun
gun Detection preview by Box_v11_medium_train_SIXray_OPIXray No objects detected Detection preview by DN_Medium_300_yolov8m_20t7_new gun Detection preview by Segmentatation_v8_medium_train_250 gun Detection preview by Segmentation_V11_large_300_train_300 gun Detection preview by Segmentation_v8_large_300_train_300
Original Image: P02179.jpg
GT: gun
gun Detection preview by Box_v11_medium_train_SIXray_OPIXray No objects detected Detection preview by DN_Medium_300_yolov8m_20t7_new gun Detection preview by Segmentatation_v8_medium_train_250 gun Detection preview by Segmentation_V11_large_300_train_300 gun Detection preview by Segmentation_v8_large_300_train_300
Original Image: P02180.jpg
GT: gun
gun Detection preview by Box_v11_medium_train_SIXray_OPIXray No objects detected Detection preview by DN_Medium_300_yolov8m_20t7_new gun Detection preview by Segmentatation_v8_medium_train_250 gun Detection preview by Segmentation_V11_large_300_train_300 gun Detection preview by Segmentation_v8_large_300_train_300
Original Image: P02181.jpg
GT: gun
gun Detection preview by Box_v11_medium_train_SIXray_OPIXray No objects detected Detection preview by DN_Medium_300_yolov8m_20t7_new gun Detection preview by Segmentatation_v8_medium_train_250 gun Detection preview by Segmentation_V11_large_300_train_300 gun Detection preview by Segmentation_v8_large_300_train_300
Original Image: P02182.jpg
GT: gun
gun Detection preview by Box_v11_medium_train_SIXray_OPIXray No objects detected Detection preview by DN_Medium_300_yolov8m_20t7_new gun Detection preview by Segmentatation_v8_medium_train_250 gun Detection preview by Segmentation_V11_large_300_train_300 gun Detection preview by Segmentation_v8_large_300_train_300
Original Image: P02183.jpg
GT: gun
gun Detection preview by Box_v11_medium_train_SIXray_OPIXray No objects detected Detection preview by DN_Medium_300_yolov8m_20t7_new gun Detection preview by Segmentatation_v8_medium_train_250 gun Detection preview by Segmentation_V11_large_300_train_300 gun Detection preview by Segmentation_v8_large_300_train_300
Original Image: P02184.jpg
GT: gun
gun Detection preview by Box_v11_medium_train_SIXray_OPIXray No objects detected Detection preview by DN_Medium_300_yolov8m_20t7_new gun Detection preview by Segmentatation_v8_medium_train_250 gun Detection preview by Segmentation_V11_large_300_train_300 gun Detection preview by Segmentation_v8_large_300_train_300
Original Image: P02185.jpg
GT: gun
gun Detection preview by Box_v11_medium_train_SIXray_OPIXray No objects detected Detection preview by DN_Medium_300_yolov8m_20t7_new gun Detection preview by Segmentatation_v8_medium_train_250 gun Detection preview by Segmentation_V11_large_300_train_300 gun Detection preview by Segmentation_v8_large_300_train_300
Original Image: P02186.jpg
GT: gun
gun Detection preview by Box_v11_medium_train_SIXray_OPIXray No objects detected Detection preview by DN_Medium_300_yolov8m_20t7_new gun Detection preview by Segmentatation_v8_medium_train_250 gun Detection preview by Segmentation_V11_large_300_train_300 gun Detection preview by Segmentation_v8_large_300_train_300
Original Image: P02187.jpg
GT: gun
gun Detection preview by Box_v11_medium_train_SIXray_OPIXray No objects detected Detection preview by DN_Medium_300_yolov8m_20t7_new gun Detection preview by Segmentatation_v8_medium_train_250 gun Detection preview by Segmentation_V11_large_300_train_300 gun Detection preview by Segmentation_v8_large_300_train_300
Original Image: P02188.jpg
GT: gun
gun Detection preview by Box_v11_medium_train_SIXray_OPIXray No objects detected Detection preview by DN_Medium_300_yolov8m_20t7_new gun Detection preview by Segmentatation_v8_medium_train_250 gun Detection preview by Segmentation_V11_large_300_train_300 gun Detection preview by Segmentation_v8_large_300_train_300
Original Image: P02189.jpg
GT: gun
gun Detection preview by Box_v11_medium_train_SIXray_OPIXray gun Detection preview by DN_Medium_300_yolov8m_20t7_new gun Detection preview by Segmentatation_v8_medium_train_250 gun Detection preview by Segmentation_V11_large_300_train_300 gun Detection preview by Segmentation_v8_large_300_train_300
Original Image: P02190.jpg
GT: gun
gun Detection preview by Box_v11_medium_train_SIXray_OPIXray gun Detection preview by DN_Medium_300_yolov8m_20t7_new gun Detection preview by Segmentatation_v8_medium_train_250 gun Detection preview by Segmentation_V11_large_300_train_300 gun Detection preview by Segmentation_v8_large_300_train_300
Original Image: P02191.jpg
GT: gun
gun Detection preview by Box_v11_medium_train_SIXray_OPIXray gun Detection preview by DN_Medium_300_yolov8m_20t7_new gun Detection preview by Segmentatation_v8_medium_train_250 gun Detection preview by Segmentation_V11_large_300_train_300 gun Detection preview by Segmentation_v8_large_300_train_300
Original Image: P02192.jpg
GT: gun
gun Detection preview by Box_v11_medium_train_SIXray_OPIXray gun Detection preview by DN_Medium_300_yolov8m_20t7_new gun Detection preview by Segmentatation_v8_medium_train_250 gun Detection preview by Segmentation_V11_large_300_train_300 gun Detection preview by Segmentation_v8_large_300_train_300
Original Image: P02193.jpg
GT: gun
gun Detection preview by Box_v11_medium_train_SIXray_OPIXray No objects detected Detection preview by DN_Medium_300_yolov8m_20t7_new gun Detection preview by Segmentatation_v8_medium_train_250 gun Detection preview by Segmentation_V11_large_300_train_300 gun Detection preview by Segmentation_v8_large_300_train_300
Original Image: P02194.jpg
GT: gun
gun Detection preview by Box_v11_medium_train_SIXray_OPIXray gun Detection preview by DN_Medium_300_yolov8m_20t7_new gun Detection preview by Segmentatation_v8_medium_train_250 gun Detection preview by Segmentation_V11_large_300_train_300 gun Detection preview by Segmentation_v8_large_300_train_300
Original Image: P02195.jpg
GT: gun
gun Detection preview by Box_v11_medium_train_SIXray_OPIXray gun Detection preview by DN_Medium_300_yolov8m_20t7_new gun Detection preview by Segmentatation_v8_medium_train_250 gun Detection preview by Segmentation_V11_large_300_train_300 gun Detection preview by Segmentation_v8_large_300_train_300
Original Image: P02196.jpg
GT: gun
gun Detection preview by Box_v11_medium_train_SIXray_OPIXray gun Detection preview by DN_Medium_300_yolov8m_20t7_new gun Detection preview by Segmentatation_v8_medium_train_250 gun Detection preview by Segmentation_V11_large_300_train_300 gun Detection preview by Segmentation_v8_large_300_train_300
Original Image: P02197.jpg
GT: gun
gun Detection preview by Box_v11_medium_train_SIXray_OPIXray gun Detection preview by DN_Medium_300_yolov8m_20t7_new gun Detection preview by Segmentatation_v8_medium_train_250 gun Detection preview by Segmentation_V11_large_300_train_300 gun Detection preview by Segmentation_v8_large_300_train_300
Original Image: P02198.jpg
GT: gun
gun Detection preview by Box_v11_medium_train_SIXray_OPIXray No objects detected Detection preview by DN_Medium_300_yolov8m_20t7_new gun Detection preview by Segmentatation_v8_medium_train_250 gun Detection preview by Segmentation_V11_large_300_train_300 gun Detection preview by Segmentation_v8_large_300_train_300
Original Image: P02199.jpg
GT: gun
gun Detection preview by Box_v11_medium_train_SIXray_OPIXray No objects detected Detection preview by DN_Medium_300_yolov8m_20t7_new gun Detection preview by Segmentatation_v8_medium_train_250 gun Detection preview by Segmentation_V11_large_300_train_300 gun Detection preview by Segmentation_v8_large_300_train_300
Original Image: P02200.jpg
GT: gun
gun Detection preview by Box_v11_medium_train_SIXray_OPIXray No objects detected Detection preview by DN_Medium_300_yolov8m_20t7_new gun Detection preview by Segmentatation_v8_medium_train_250 gun Detection preview by Segmentation_V11_large_300_train_300 gun Detection preview by Segmentation_v8_large_300_train_300
Original Image: P02201.jpg
GT: gun
gun Detection preview by Box_v11_medium_train_SIXray_OPIXray No objects detected Detection preview by DN_Medium_300_yolov8m_20t7_new gun Detection preview by Segmentatation_v8_medium_train_250 gun Detection preview by Segmentation_V11_large_300_train_300 gun Detection preview by Segmentation_v8_large_300_train_300
Original Image: P02202.jpg
GT: gun
gun Detection preview by Box_v11_medium_train_SIXray_OPIXray gun Detection preview by DN_Medium_300_yolov8m_20t7_new gun Detection preview by Segmentatation_v8_medium_train_250 gun Detection preview by Segmentation_V11_large_300_train_300 gun Detection preview by Segmentation_v8_large_300_train_300
Original Image: P02203.jpg
GT: gun
gun Detection preview by Box_v11_medium_train_SIXray_OPIXray gun Detection preview by DN_Medium_300_yolov8m_20t7_new gun Detection preview by Segmentatation_v8_medium_train_250 gun Detection preview by Segmentation_V11_large_300_train_300 gun Detection preview by Segmentation_v8_large_300_train_300
Original Image: P02204.jpg
GT: gun
gun Detection preview by Box_v11_medium_train_SIXray_OPIXray gun Detection preview by DN_Medium_300_yolov8m_20t7_new gun Detection preview by Segmentatation_v8_medium_train_250 gun Detection preview by Segmentation_V11_large_300_train_300 gun Detection preview by Segmentation_v8_large_300_train_300
Original Image: P02205.jpg
GT: gun
gun Detection preview by Box_v11_medium_train_SIXray_OPIXray gun Detection preview by DN_Medium_300_yolov8m_20t7_new gun Detection preview by Segmentatation_v8_medium_train_250 gun Detection preview by Segmentation_V11_large_300_train_300 gun Detection preview by Segmentation_v8_large_300_train_300
Original Image: P02206.jpg
GT: gun
gun Detection preview by Box_v11_medium_train_SIXray_OPIXray No objects detected Detection preview by DN_Medium_300_yolov8m_20t7_new gun Detection preview by Segmentatation_v8_medium_train_250 gun Detection preview by Segmentation_V11_large_300_train_300 gun Detection preview by Segmentation_v8_large_300_train_300
Original Image: P02207.jpg
GT: gun
gun Detection preview by Box_v11_medium_train_SIXray_OPIXray No objects detected Detection preview by DN_Medium_300_yolov8m_20t7_new gun Detection preview by Segmentatation_v8_medium_train_250 gun Detection preview by Segmentation_V11_large_300_train_300 gun Detection preview by Segmentation_v8_large_300_train_300
Original Image: P02208.jpg
GT: gun
gun Detection preview by Box_v11_medium_train_SIXray_OPIXray No objects detected Detection preview by DN_Medium_300_yolov8m_20t7_new gun Detection preview by Segmentatation_v8_medium_train_250 gun Detection preview by Segmentation_V11_large_300_train_300 gun Detection preview by Segmentation_v8_large_300_train_300
Original Image: P02209.jpg
GT: gun
gun Detection preview by Box_v11_medium_train_SIXray_OPIXray No objects detected Detection preview by DN_Medium_300_yolov8m_20t7_new gun Detection preview by Segmentatation_v8_medium_train_250 gun Detection preview by Segmentation_V11_large_300_train_300 gun Detection preview by Segmentation_v8_large_300_train_300
Original Image: P02210.jpg
GT: gun
gun Detection preview by Box_v11_medium_train_SIXray_OPIXray gun Detection preview by DN_Medium_300_yolov8m_20t7_new gun Detection preview by Segmentatation_v8_medium_train_250 gun Detection preview by Segmentation_V11_large_300_train_300 gun Detection preview by Segmentation_v8_large_300_train_300
Original Image: P02211.jpg
GT: gun
gun Detection preview by Box_v11_medium_train_SIXray_OPIXray gun Detection preview by DN_Medium_300_yolov8m_20t7_new gun Detection preview by Segmentatation_v8_medium_train_250 gun Detection preview by Segmentation_V11_large_300_train_300 gun Detection preview by Segmentation_v8_large_300_train_300
Original Image: P02212.jpg
GT: gun
gun Detection preview by Box_v11_medium_train_SIXray_OPIXray No objects detected Detection preview by DN_Medium_300_yolov8m_20t7_new gun Detection preview by Segmentatation_v8_medium_train_250 gun Detection preview by Segmentation_V11_large_300_train_300 gun Detection preview by Segmentation_v8_large_300_train_300
Original Image: P02213.jpg
GT: gun
gun Detection preview by Box_v11_medium_train_SIXray_OPIXray No objects detected Detection preview by DN_Medium_300_yolov8m_20t7_new gun Detection preview by Segmentatation_v8_medium_train_250 gun Detection preview by Segmentation_V11_large_300_train_300 gun Detection preview by Segmentation_v8_large_300_train_300
Original Image: P02214.jpg
GT: gun
gun Detection preview by Box_v11_medium_train_SIXray_OPIXray No objects detected Detection preview by DN_Medium_300_yolov8m_20t7_new gun Detection preview by Segmentatation_v8_medium_train_250 gun Detection preview by Segmentation_V11_large_300_train_300 gun Detection preview by Segmentation_v8_large_300_train_300
Original Image: P02215.jpg
GT: gun
gun Detection preview by Box_v11_medium_train_SIXray_OPIXray No objects detected Detection preview by DN_Medium_300_yolov8m_20t7_new gun Detection preview by Segmentatation_v8_medium_train_250 gun Detection preview by Segmentation_V11_large_300_train_300 gun Detection preview by Segmentation_v8_large_300_train_300
Original Image: P02216.jpg
GT: gun
gun Detection preview by Box_v11_medium_train_SIXray_OPIXray No objects detected Detection preview by DN_Medium_300_yolov8m_20t7_new gun Detection preview by Segmentatation_v8_medium_train_250 gun Detection preview by Segmentation_V11_large_300_train_300 gun Detection preview by Segmentation_v8_large_300_train_300
Original Image: P02217.jpg
GT: gun
gun Detection preview by Box_v11_medium_train_SIXray_OPIXray No objects detected Detection preview by DN_Medium_300_yolov8m_20t7_new gun Detection preview by Segmentatation_v8_medium_train_250 gun Detection preview by Segmentation_V11_large_300_train_300 gun Detection preview by Segmentation_v8_large_300_train_300
Original Image: P02218.jpg
GT: gun
gun Detection preview by Box_v11_medium_train_SIXray_OPIXray No objects detected Detection preview by DN_Medium_300_yolov8m_20t7_new gun Detection preview by Segmentatation_v8_medium_train_250 gun Detection preview by Segmentation_V11_large_300_train_300 gun Detection preview by Segmentation_v8_large_300_train_300
Original Image: P02219.jpg
GT: gun
gun Detection preview by Box_v11_medium_train_SIXray_OPIXray No objects detected Detection preview by DN_Medium_300_yolov8m_20t7_new gun Detection preview by Segmentatation_v8_medium_train_250 gun Detection preview by Segmentation_V11_large_300_train_300 gun Detection preview by Segmentation_v8_large_300_train_300
Original Image: P02220.jpg
GT: gun
gun Detection preview by Box_v11_medium_train_SIXray_OPIXray No objects detected Detection preview by DN_Medium_300_yolov8m_20t7_new gun Detection preview by Segmentatation_v8_medium_train_250 gun Detection preview by Segmentation_V11_large_300_train_300 gun Detection preview by Segmentation_v8_large_300_train_300
Original Image: P02221.jpg
GT: gun
gun Detection preview by Box_v11_medium_train_SIXray_OPIXray No objects detected Detection preview by DN_Medium_300_yolov8m_20t7_new gun Detection preview by Segmentatation_v8_medium_train_250 gun Detection preview by Segmentation_V11_large_300_train_300 gun Detection preview by Segmentation_v8_large_300_train_300
Original Image: P02222.jpg
GT: gun
gun Detection preview by Box_v11_medium_train_SIXray_OPIXray No objects detected Detection preview by DN_Medium_300_yolov8m_20t7_new gun Detection preview by Segmentatation_v8_medium_train_250 gun Detection preview by Segmentation_V11_large_300_train_300 gun Detection preview by Segmentation_v8_large_300_train_300
Original Image: P02223.jpg
GT: gun
gun Detection preview by Box_v11_medium_train_SIXray_OPIXray No objects detected Detection preview by DN_Medium_300_yolov8m_20t7_new gun Detection preview by Segmentatation_v8_medium_train_250 gun Detection preview by Segmentation_V11_large_300_train_300 gun Detection preview by Segmentation_v8_large_300_train_300
Original Image: P02224.jpg
GT: gun, pliers
gun, pliers Detection preview by Box_v11_medium_train_SIXray_OPIXray No objects detected Detection preview by DN_Medium_300_yolov8m_20t7_new gun Detection preview by Segmentatation_v8_medium_train_250 gun Detection preview by Segmentation_V11_large_300_train_300 gun Detection preview by Segmentation_v8_large_300_train_300
Original Image: P02225.jpg
GT: gun
gun Detection preview by Box_v11_medium_train_SIXray_OPIXray gun Detection preview by DN_Medium_300_yolov8m_20t7_new gun Detection preview by Segmentatation_v8_medium_train_250 gun Detection preview by Segmentation_V11_large_300_train_300 gun Detection preview by Segmentation_v8_large_300_train_300
Original Image: P02226.jpg
GT: gun
gun Detection preview by Box_v11_medium_train_SIXray_OPIXray No objects detected Detection preview by DN_Medium_300_yolov8m_20t7_new gun Detection preview by Segmentatation_v8_medium_train_250 gun Detection preview by Segmentation_V11_large_300_train_300 gun Detection preview by Segmentation_v8_large_300_train_300
Original Image: P02227.jpg
GT: gun
gun Detection preview by Box_v11_medium_train_SIXray_OPIXray No objects detected Detection preview by DN_Medium_300_yolov8m_20t7_new gun Detection preview by Segmentatation_v8_medium_train_250 gun Detection preview by Segmentation_V11_large_300_train_300 gun Detection preview by Segmentation_v8_large_300_train_300
Original Image: P02228.jpg
GT: gun
gun Detection preview by Box_v11_medium_train_SIXray_OPIXray No objects detected Detection preview by DN_Medium_300_yolov8m_20t7_new gun Detection preview by Segmentatation_v8_medium_train_250 gun Detection preview by Segmentation_V11_large_300_train_300 gun Detection preview by Segmentation_v8_large_300_train_300
Original Image: P02229.jpg
GT: gun, pliers, wrench
gun, pliers, wrench Detection preview by Box_v11_medium_train_SIXray_OPIXray No objects detected Detection preview by DN_Medium_300_yolov8m_20t7_new gun, wrench Detection preview by Segmentatation_v8_medium_train_250 gun, wrench Detection preview by Segmentation_V11_large_300_train_300 gun, wrench Detection preview by Segmentation_v8_large_300_train_300
Original Image: P02230.jpg
GT: gun
gun Detection preview by Box_v11_medium_train_SIXray_OPIXray gun Detection preview by DN_Medium_300_yolov8m_20t7_new gun Detection preview by Segmentatation_v8_medium_train_250 gun Detection preview by Segmentation_V11_large_300_train_300 gun Detection preview by Segmentation_v8_large_300_train_300
Original Image: P02231.jpg
GT: gun
gun Detection preview by Box_v11_medium_train_SIXray_OPIXray gun Detection preview by DN_Medium_300_yolov8m_20t7_new gun Detection preview by Segmentatation_v8_medium_train_250 gun Detection preview by Segmentation_V11_large_300_train_300 gun Detection preview by Segmentation_v8_large_300_train_300
Original Image: P02232.jpg
GT: gun
gun Detection preview by Box_v11_medium_train_SIXray_OPIXray gun Detection preview by DN_Medium_300_yolov8m_20t7_new gun Detection preview by Segmentatation_v8_medium_train_250 gun Detection preview by Segmentation_V11_large_300_train_300 gun Detection preview by Segmentation_v8_large_300_train_300
Original Image: P02233.jpg
GT: gun
gun Detection preview by Box_v11_medium_train_SIXray_OPIXray gun Detection preview by DN_Medium_300_yolov8m_20t7_new gun Detection preview by Segmentatation_v8_medium_train_250 gun Detection preview by Segmentation_V11_large_300_train_300 gun Detection preview by Segmentation_v8_large_300_train_300
Original Image: P02234.jpg
GT: gun
gun Detection preview by Box_v11_medium_train_SIXray_OPIXray No objects detected Detection preview by DN_Medium_300_yolov8m_20t7_new gun Detection preview by Segmentatation_v8_medium_train_250 gun Detection preview by Segmentation_V11_large_300_train_300 gun Detection preview by Segmentation_v8_large_300_train_300
Original Image: P02235.jpg
GT: gun
gun Detection preview by Box_v11_medium_train_SIXray_OPIXray No objects detected Detection preview by DN_Medium_300_yolov8m_20t7_new gun Detection preview by Segmentatation_v8_medium_train_250 gun Detection preview by Segmentation_V11_large_300_train_300 gun Detection preview by Segmentation_v8_large_300_train_300
Original Image: P02236.jpg
GT: gun
gun Detection preview by Box_v11_medium_train_SIXray_OPIXray gun Detection preview by DN_Medium_300_yolov8m_20t7_new gun Detection preview by Segmentatation_v8_medium_train_250 gun Detection preview by Segmentation_V11_large_300_train_300 gun Detection preview by Segmentation_v8_large_300_train_300
Original Image: P02237.jpg
GT: gun
gun Detection preview by Box_v11_medium_train_SIXray_OPIXray No objects detected Detection preview by DN_Medium_300_yolov8m_20t7_new gun Detection preview by Segmentatation_v8_medium_train_250 gun Detection preview by Segmentation_V11_large_300_train_300 gun Detection preview by Segmentation_v8_large_300_train_300
Original Image: P02238.jpg
GT: gun
gun Detection preview by Box_v11_medium_train_SIXray_OPIXray No objects detected Detection preview by DN_Medium_300_yolov8m_20t7_new gun Detection preview by Segmentatation_v8_medium_train_250 gun Detection preview by Segmentation_V11_large_300_train_300 gun Detection preview by Segmentation_v8_large_300_train_300
Original Image: P02239.jpg
GT: gun
gun Detection preview by Box_v11_medium_train_SIXray_OPIXray No objects detected Detection preview by DN_Medium_300_yolov8m_20t7_new gun Detection preview by Segmentatation_v8_medium_train_250 gun Detection preview by Segmentation_V11_large_300_train_300 gun Detection preview by Segmentation_v8_large_300_train_300
Original Image: P02240.jpg
GT: gun
gun Detection preview by Box_v11_medium_train_SIXray_OPIXray No objects detected Detection preview by DN_Medium_300_yolov8m_20t7_new gun Detection preview by Segmentatation_v8_medium_train_250 gun Detection preview by Segmentation_V11_large_300_train_300 gun Detection preview by Segmentation_v8_large_300_train_300
Original Image: P02241.jpg
GT: gun
gun Detection preview by Box_v11_medium_train_SIXray_OPIXray No objects detected Detection preview by DN_Medium_300_yolov8m_20t7_new gun Detection preview by Segmentatation_v8_medium_train_250 gun Detection preview by Segmentation_V11_large_300_train_300 gun Detection preview by Segmentation_v8_large_300_train_300
Original Image: P02242.jpg
GT: gun
gun Detection preview by Box_v11_medium_train_SIXray_OPIXray No objects detected Detection preview by DN_Medium_300_yolov8m_20t7_new gun Detection preview by Segmentatation_v8_medium_train_250 gun Detection preview by Segmentation_V11_large_300_train_300 gun Detection preview by Segmentation_v8_large_300_train_300
Original Image: P02243.jpg
GT: gun
gun Detection preview by Box_v11_medium_train_SIXray_OPIXray gun Detection preview by DN_Medium_300_yolov8m_20t7_new gun Detection preview by Segmentatation_v8_medium_train_250 gun Detection preview by Segmentation_V11_large_300_train_300 gun Detection preview by Segmentation_v8_large_300_train_300
Original Image: P02244.jpg
GT: gun
gun Detection preview by Box_v11_medium_train_SIXray_OPIXray No objects detected Detection preview by DN_Medium_300_yolov8m_20t7_new gun Detection preview by Segmentatation_v8_medium_train_250 gun Detection preview by Segmentation_V11_large_300_train_300 gun Detection preview by Segmentation_v8_large_300_train_300
Original Image: P02245.jpg
GT: gun
gun Detection preview by Box_v11_medium_train_SIXray_OPIXray gun Detection preview by DN_Medium_300_yolov8m_20t7_new gun Detection preview by Segmentatation_v8_medium_train_250 gun Detection preview by Segmentation_V11_large_300_train_300 gun Detection preview by Segmentation_v8_large_300_train_300
Original Image: P02246.jpg
GT: gun
gun Detection preview by Box_v11_medium_train_SIXray_OPIXray No objects detected Detection preview by DN_Medium_300_yolov8m_20t7_new gun Detection preview by Segmentatation_v8_medium_train_250 gun Detection preview by Segmentation_V11_large_300_train_300 gun Detection preview by Segmentation_v8_large_300_train_300
Original Image: P02247.jpg
GT: gun
gun Detection preview by Box_v11_medium_train_SIXray_OPIXray gun Detection preview by DN_Medium_300_yolov8m_20t7_new gun Detection preview by Segmentatation_v8_medium_train_250 gun Detection preview by Segmentation_V11_large_300_train_300 gun Detection preview by Segmentation_v8_large_300_train_300
Original Image: P02248.jpg
GT: gun
gun Detection preview by Box_v11_medium_train_SIXray_OPIXray No objects detected Detection preview by DN_Medium_300_yolov8m_20t7_new gun Detection preview by Segmentatation_v8_medium_train_250 gun Detection preview by Segmentation_V11_large_300_train_300 gun Detection preview by Segmentation_v8_large_300_train_300
Original Image: P02249.jpg
GT: gun
gun Detection preview by Box_v11_medium_train_SIXray_OPIXray No objects detected Detection preview by DN_Medium_300_yolov8m_20t7_new gun Detection preview by Segmentatation_v8_medium_train_250 gun Detection preview by Segmentation_V11_large_300_train_300 gun Detection preview by Segmentation_v8_large_300_train_300
Original Image: P02250.jpg
GT: gun
gun Detection preview by Box_v11_medium_train_SIXray_OPIXray No objects detected Detection preview by DN_Medium_300_yolov8m_20t7_new gun Detection preview by Segmentatation_v8_medium_train_250 gun Detection preview by Segmentation_V11_large_300_train_300 gun Detection preview by Segmentation_v8_large_300_train_300
Original Image: P02251.jpg
GT: gun
gun Detection preview by Box_v11_medium_train_SIXray_OPIXray No objects detected Detection preview by DN_Medium_300_yolov8m_20t7_new gun Detection preview by Segmentatation_v8_medium_train_250 gun Detection preview by Segmentation_V11_large_300_train_300 gun Detection preview by Segmentation_v8_large_300_train_300
Original Image: P02252.jpg
GT: gun
gun Detection preview by Box_v11_medium_train_SIXray_OPIXray No objects detected Detection preview by DN_Medium_300_yolov8m_20t7_new gun Detection preview by Segmentatation_v8_medium_train_250 gun Detection preview by Segmentation_V11_large_300_train_300 gun Detection preview by Segmentation_v8_large_300_train_300
Original Image: P02253.jpg
GT: gun
gun Detection preview by Box_v11_medium_train_SIXray_OPIXray No objects detected Detection preview by DN_Medium_300_yolov8m_20t7_new gun Detection preview by Segmentatation_v8_medium_train_250 gun Detection preview by Segmentation_V11_large_300_train_300 gun Detection preview by Segmentation_v8_large_300_train_300
Original Image: P02254.jpg
GT: gun
gun Detection preview by Box_v11_medium_train_SIXray_OPIXray No objects detected Detection preview by DN_Medium_300_yolov8m_20t7_new gun Detection preview by Segmentatation_v8_medium_train_250 gun Detection preview by Segmentation_V11_large_300_train_300 gun Detection preview by Segmentation_v8_large_300_train_300
Original Image: P02255.jpg
GT: gun
gun Detection preview by Box_v11_medium_train_SIXray_OPIXray No objects detected Detection preview by DN_Medium_300_yolov8m_20t7_new gun Detection preview by Segmentatation_v8_medium_train_250 gun Detection preview by Segmentation_V11_large_300_train_300 gun Detection preview by Segmentation_v8_large_300_train_300
Original Image: P02256.jpg
GT: gun
gun Detection preview by Box_v11_medium_train_SIXray_OPIXray gun Detection preview by DN_Medium_300_yolov8m_20t7_new gun Detection preview by Segmentatation_v8_medium_train_250 gun Detection preview by Segmentation_V11_large_300_train_300 gun Detection preview by Segmentation_v8_large_300_train_300
Original Image: P02257.jpg
GT: gun
gun Detection preview by Box_v11_medium_train_SIXray_OPIXray No objects detected Detection preview by DN_Medium_300_yolov8m_20t7_new gun Detection preview by Segmentatation_v8_medium_train_250 gun Detection preview by Segmentation_V11_large_300_train_300 gun Detection preview by Segmentation_v8_large_300_train_300
Original Image: P02258.jpg
GT: gun
gun Detection preview by Box_v11_medium_train_SIXray_OPIXray No objects detected Detection preview by DN_Medium_300_yolov8m_20t7_new gun Detection preview by Segmentatation_v8_medium_train_250 gun Detection preview by Segmentation_V11_large_300_train_300 gun Detection preview by Segmentation_v8_large_300_train_300
Original Image: P02259.jpg
GT: gun
gun Detection preview by Box_v11_medium_train_SIXray_OPIXray gun Detection preview by DN_Medium_300_yolov8m_20t7_new gun Detection preview by Segmentatation_v8_medium_train_250 gun Detection preview by Segmentation_V11_large_300_train_300 gun Detection preview by Segmentation_v8_large_300_train_300
Original Image: P02260.jpg
GT: gun
gun Detection preview by Box_v11_medium_train_SIXray_OPIXray gun Detection preview by DN_Medium_300_yolov8m_20t7_new gun Detection preview by Segmentatation_v8_medium_train_250 gun Detection preview by Segmentation_V11_large_300_train_300 gun Detection preview by Segmentation_v8_large_300_train_300
Original Image: P02261.jpg
GT: gun
gun Detection preview by Box_v11_medium_train_SIXray_OPIXray No objects detected Detection preview by DN_Medium_300_yolov8m_20t7_new gun Detection preview by Segmentatation_v8_medium_train_250 gun Detection preview by Segmentation_V11_large_300_train_300 gun Detection preview by Segmentation_v8_large_300_train_300
Original Image: P02262.jpg
GT: gun
gun Detection preview by Box_v11_medium_train_SIXray_OPIXray gun Detection preview by DN_Medium_300_yolov8m_20t7_new gun Detection preview by Segmentatation_v8_medium_train_250 gun Detection preview by Segmentation_V11_large_300_train_300 gun Detection preview by Segmentation_v8_large_300_train_300
Original Image: P02263.jpg
GT: gun
gun Detection preview by Box_v11_medium_train_SIXray_OPIXray No objects detected Detection preview by DN_Medium_300_yolov8m_20t7_new gun Detection preview by Segmentatation_v8_medium_train_250 gun Detection preview by Segmentation_V11_large_300_train_300 gun Detection preview by Segmentation_v8_large_300_train_300
Original Image: P02264.jpg
GT: gun
gun Detection preview by Box_v11_medium_train_SIXray_OPIXray No objects detected Detection preview by DN_Medium_300_yolov8m_20t7_new gun Detection preview by Segmentatation_v8_medium_train_250 gun Detection preview by Segmentation_V11_large_300_train_300 gun Detection preview by Segmentation_v8_large_300_train_300
Original Image: P02265.jpg
GT: gun
gun Detection preview by Box_v11_medium_train_SIXray_OPIXray gun Detection preview by DN_Medium_300_yolov8m_20t7_new gun Detection preview by Segmentatation_v8_medium_train_250 gun Detection preview by Segmentation_V11_large_300_train_300 gun Detection preview by Segmentation_v8_large_300_train_300
Original Image: P02266.jpg
GT: gun
gun Detection preview by Box_v11_medium_train_SIXray_OPIXray No objects detected Detection preview by DN_Medium_300_yolov8m_20t7_new gun Detection preview by Segmentatation_v8_medium_train_250 gun Detection preview by Segmentation_V11_large_300_train_300 gun Detection preview by Segmentation_v8_large_300_train_300
Original Image: P02267.jpg
GT: gun
gun Detection preview by Box_v11_medium_train_SIXray_OPIXray gun Detection preview by DN_Medium_300_yolov8m_20t7_new gun Detection preview by Segmentatation_v8_medium_train_250 gun Detection preview by Segmentation_V11_large_300_train_300 gun Detection preview by Segmentation_v8_large_300_train_300
Original Image: P02268.jpg
GT: gun
gun Detection preview by Box_v11_medium_train_SIXray_OPIXray gun Detection preview by DN_Medium_300_yolov8m_20t7_new gun Detection preview by Segmentatation_v8_medium_train_250 gun Detection preview by Segmentation_V11_large_300_train_300 gun Detection preview by Segmentation_v8_large_300_train_300
Original Image: P02269.jpg
GT: gun
gun Detection preview by Box_v11_medium_train_SIXray_OPIXray gun Detection preview by DN_Medium_300_yolov8m_20t7_new gun Detection preview by Segmentatation_v8_medium_train_250 gun Detection preview by Segmentation_V11_large_300_train_300 gun Detection preview by Segmentation_v8_large_300_train_300
Original Image: P02270.jpg
GT: gun
gun Detection preview by Box_v11_medium_train_SIXray_OPIXray gun Detection preview by DN_Medium_300_yolov8m_20t7_new gun Detection preview by Segmentatation_v8_medium_train_250 gun Detection preview by Segmentation_V11_large_300_train_300 gun Detection preview by Segmentation_v8_large_300_train_300
Original Image: P02271.jpg
GT: gun
gun Detection preview by Box_v11_medium_train_SIXray_OPIXray gun Detection preview by DN_Medium_300_yolov8m_20t7_new gun Detection preview by Segmentatation_v8_medium_train_250 gun Detection preview by Segmentation_V11_large_300_train_300 gun Detection preview by Segmentation_v8_large_300_train_300
Original Image: P02272.jpg
GT: gun
gun Detection preview by Box_v11_medium_train_SIXray_OPIXray gun Detection preview by DN_Medium_300_yolov8m_20t7_new gun Detection preview by Segmentatation_v8_medium_train_250 gun Detection preview by Segmentation_V11_large_300_train_300 gun Detection preview by Segmentation_v8_large_300_train_300
Original Image: P02273.jpg
GT: gun
gun Detection preview by Box_v11_medium_train_SIXray_OPIXray gun Detection preview by DN_Medium_300_yolov8m_20t7_new gun Detection preview by Segmentatation_v8_medium_train_250 gun Detection preview by Segmentation_V11_large_300_train_300 gun Detection preview by Segmentation_v8_large_300_train_300
Original Image: P02274.jpg
GT: gun
gun Detection preview by Box_v11_medium_train_SIXray_OPIXray No objects detected Detection preview by DN_Medium_300_yolov8m_20t7_new gun Detection preview by Segmentatation_v8_medium_train_250 gun Detection preview by Segmentation_V11_large_300_train_300 gun Detection preview by Segmentation_v8_large_300_train_300
Original Image: P02275.jpg
GT: gun
gun Detection preview by Box_v11_medium_train_SIXray_OPIXray No objects detected Detection preview by DN_Medium_300_yolov8m_20t7_new gun Detection preview by Segmentatation_v8_medium_train_250 gun Detection preview by Segmentation_V11_large_300_train_300 gun Detection preview by Segmentation_v8_large_300_train_300
Original Image: P02276.jpg
GT: gun
gun Detection preview by Box_v11_medium_train_SIXray_OPIXray No objects detected Detection preview by DN_Medium_300_yolov8m_20t7_new gun Detection preview by Segmentatation_v8_medium_train_250 gun Detection preview by Segmentation_V11_large_300_train_300 gun Detection preview by Segmentation_v8_large_300_train_300
Original Image: P02277.jpg
GT: gun
gun Detection preview by Box_v11_medium_train_SIXray_OPIXray gun Detection preview by DN_Medium_300_yolov8m_20t7_new gun Detection preview by Segmentatation_v8_medium_train_250 gun Detection preview by Segmentation_V11_large_300_train_300 gun Detection preview by Segmentation_v8_large_300_train_300
Original Image: P02278.jpg
GT: gun
gun Detection preview by Box_v11_medium_train_SIXray_OPIXray No objects detected Detection preview by DN_Medium_300_yolov8m_20t7_new gun Detection preview by Segmentatation_v8_medium_train_250 gun Detection preview by Segmentation_V11_large_300_train_300 gun Detection preview by Segmentation_v8_large_300_train_300
Original Image: P02279.jpg
GT: gun
gun Detection preview by Box_v11_medium_train_SIXray_OPIXray No objects detected Detection preview by DN_Medium_300_yolov8m_20t7_new gun Detection preview by Segmentatation_v8_medium_train_250 gun Detection preview by Segmentation_V11_large_300_train_300 gun Detection preview by Segmentation_v8_large_300_train_300
Original Image: P02280.jpg
GT: gun
gun Detection preview by Box_v11_medium_train_SIXray_OPIXray gun Detection preview by DN_Medium_300_yolov8m_20t7_new gun Detection preview by Segmentatation_v8_medium_train_250 gun Detection preview by Segmentation_V11_large_300_train_300 gun Detection preview by Segmentation_v8_large_300_train_300
Original Image: P02281.jpg
GT: gun
gun Detection preview by Box_v11_medium_train_SIXray_OPIXray gun Detection preview by DN_Medium_300_yolov8m_20t7_new gun Detection preview by Segmentatation_v8_medium_train_250 gun Detection preview by Segmentation_V11_large_300_train_300 gun Detection preview by Segmentation_v8_large_300_train_300
Original Image: P02282.jpg
GT: gun
gun Detection preview by Box_v11_medium_train_SIXray_OPIXray No objects detected Detection preview by DN_Medium_300_yolov8m_20t7_new gun Detection preview by Segmentatation_v8_medium_train_250 gun Detection preview by Segmentation_V11_large_300_train_300 gun Detection preview by Segmentation_v8_large_300_train_300
Original Image: P02283.jpg
GT: gun
gun Detection preview by Box_v11_medium_train_SIXray_OPIXray No objects detected Detection preview by DN_Medium_300_yolov8m_20t7_new gun Detection preview by Segmentatation_v8_medium_train_250 gun Detection preview by Segmentation_V11_large_300_train_300 gun Detection preview by Segmentation_v8_large_300_train_300
Original Image: P02284.jpg
GT: gun
gun Detection preview by Box_v11_medium_train_SIXray_OPIXray No objects detected Detection preview by DN_Medium_300_yolov8m_20t7_new gun Detection preview by Segmentatation_v8_medium_train_250 gun Detection preview by Segmentation_V11_large_300_train_300 gun Detection preview by Segmentation_v8_large_300_train_300
Original Image: P02285.jpg
GT: gun
gun Detection preview by Box_v11_medium_train_SIXray_OPIXray No objects detected Detection preview by DN_Medium_300_yolov8m_20t7_new gun Detection preview by Segmentatation_v8_medium_train_250 gun Detection preview by Segmentation_V11_large_300_train_300 gun Detection preview by Segmentation_v8_large_300_train_300
Original Image: P02286.jpg
GT: gun
gun Detection preview by Box_v11_medium_train_SIXray_OPIXray No objects detected Detection preview by DN_Medium_300_yolov8m_20t7_new gun Detection preview by Segmentatation_v8_medium_train_250 gun Detection preview by Segmentation_V11_large_300_train_300 gun Detection preview by Segmentation_v8_large_300_train_300
Original Image: P02287.jpg
GT: gun
gun Detection preview by Box_v11_medium_train_SIXray_OPIXray No objects detected Detection preview by DN_Medium_300_yolov8m_20t7_new gun Detection preview by Segmentatation_v8_medium_train_250 gun Detection preview by Segmentation_V11_large_300_train_300 gun Detection preview by Segmentation_v8_large_300_train_300
Original Image: P02288.jpg
GT: gun
gun Detection preview by Box_v11_medium_train_SIXray_OPIXray No objects detected Detection preview by DN_Medium_300_yolov8m_20t7_new gun Detection preview by Segmentatation_v8_medium_train_250 gun Detection preview by Segmentation_V11_large_300_train_300 gun Detection preview by Segmentation_v8_large_300_train_300
Original Image: P02289.jpg
GT: gun
gun Detection preview by Box_v11_medium_train_SIXray_OPIXray No objects detected Detection preview by DN_Medium_300_yolov8m_20t7_new gun Detection preview by Segmentatation_v8_medium_train_250 gun Detection preview by Segmentation_V11_large_300_train_300 gun Detection preview by Segmentation_v8_large_300_train_300
Original Image: P02290.jpg
GT: gun
gun Detection preview by Box_v11_medium_train_SIXray_OPIXray No objects detected Detection preview by DN_Medium_300_yolov8m_20t7_new gun Detection preview by Segmentatation_v8_medium_train_250 gun Detection preview by Segmentation_V11_large_300_train_300 gun Detection preview by Segmentation_v8_large_300_train_300
Original Image: P02291.jpg
GT: gun
gun Detection preview by Box_v11_medium_train_SIXray_OPIXray No objects detected Detection preview by DN_Medium_300_yolov8m_20t7_new gun Detection preview by Segmentatation_v8_medium_train_250 gun Detection preview by Segmentation_V11_large_300_train_300 gun Detection preview by Segmentation_v8_large_300_train_300
Original Image: P02292.jpg
GT: gun
gun Detection preview by Box_v11_medium_train_SIXray_OPIXray No objects detected Detection preview by DN_Medium_300_yolov8m_20t7_new gun Detection preview by Segmentatation_v8_medium_train_250 gun Detection preview by Segmentation_V11_large_300_train_300 gun Detection preview by Segmentation_v8_large_300_train_300
Original Image: P02293.jpg
GT: gun
gun Detection preview by Box_v11_medium_train_SIXray_OPIXray gun Detection preview by DN_Medium_300_yolov8m_20t7_new gun Detection preview by Segmentatation_v8_medium_train_250 gun Detection preview by Segmentation_V11_large_300_train_300 gun Detection preview by Segmentation_v8_large_300_train_300
Original Image: P02294.jpg
GT: gun
gun Detection preview by Box_v11_medium_train_SIXray_OPIXray No objects detected Detection preview by DN_Medium_300_yolov8m_20t7_new gun Detection preview by Segmentatation_v8_medium_train_250 gun Detection preview by Segmentation_V11_large_300_train_300 gun Detection preview by Segmentation_v8_large_300_train_300
Original Image: P02295.jpg
GT: gun
gun Detection preview by Box_v11_medium_train_SIXray_OPIXray No objects detected Detection preview by DN_Medium_300_yolov8m_20t7_new gun Detection preview by Segmentatation_v8_medium_train_250 gun Detection preview by Segmentation_V11_large_300_train_300 gun Detection preview by Segmentation_v8_large_300_train_300
Original Image: P02296.jpg
GT: gun
gun Detection preview by Box_v11_medium_train_SIXray_OPIXray No objects detected Detection preview by DN_Medium_300_yolov8m_20t7_new gun Detection preview by Segmentatation_v8_medium_train_250 gun Detection preview by Segmentation_V11_large_300_train_300 gun Detection preview by Segmentation_v8_large_300_train_300
Original Image: P02297.jpg
GT: gun
gun Detection preview by Box_v11_medium_train_SIXray_OPIXray No objects detected Detection preview by DN_Medium_300_yolov8m_20t7_new gun Detection preview by Segmentatation_v8_medium_train_250 gun Detection preview by Segmentation_V11_large_300_train_300 gun Detection preview by Segmentation_v8_large_300_train_300
Original Image: P02298.jpg
GT: gun
gun Detection preview by Box_v11_medium_train_SIXray_OPIXray No objects detected Detection preview by DN_Medium_300_yolov8m_20t7_new gun Detection preview by Segmentatation_v8_medium_train_250 gun Detection preview by Segmentation_V11_large_300_train_300 gun Detection preview by Segmentation_v8_large_300_train_300
Original Image: P02299.jpg
GT: gun
gun Detection preview by Box_v11_medium_train_SIXray_OPIXray No objects detected Detection preview by DN_Medium_300_yolov8m_20t7_new gun Detection preview by Segmentatation_v8_medium_train_250 gun Detection preview by Segmentation_V11_large_300_train_300 gun Detection preview by Segmentation_v8_large_300_train_300
Original Image: P02300.jpg
GT: gun
gun Detection preview by Box_v11_medium_train_SIXray_OPIXray No objects detected Detection preview by DN_Medium_300_yolov8m_20t7_new gun Detection preview by Segmentatation_v8_medium_train_250 gun Detection preview by Segmentation_V11_large_300_train_300 gun Detection preview by Segmentation_v8_large_300_train_300
Original Image: P02301.jpg
GT: gun
gun Detection preview by Box_v11_medium_train_SIXray_OPIXray No objects detected Detection preview by DN_Medium_300_yolov8m_20t7_new gun Detection preview by Segmentatation_v8_medium_train_250 gun Detection preview by Segmentation_V11_large_300_train_300 gun Detection preview by Segmentation_v8_large_300_train_300
Original Image: P02302.jpg
GT: gun
gun Detection preview by Box_v11_medium_train_SIXray_OPIXray No objects detected Detection preview by DN_Medium_300_yolov8m_20t7_new gun Detection preview by Segmentatation_v8_medium_train_250 gun Detection preview by Segmentation_V11_large_300_train_300 gun Detection preview by Segmentation_v8_large_300_train_300
Original Image: P02303.jpg
GT: gun
gun Detection preview by Box_v11_medium_train_SIXray_OPIXray No objects detected Detection preview by DN_Medium_300_yolov8m_20t7_new gun Detection preview by Segmentatation_v8_medium_train_250 gun Detection preview by Segmentation_V11_large_300_train_300 gun Detection preview by Segmentation_v8_large_300_train_300
Original Image: P02304.jpg
GT: gun
gun Detection preview by Box_v11_medium_train_SIXray_OPIXray No objects detected Detection preview by DN_Medium_300_yolov8m_20t7_new gun Detection preview by Segmentatation_v8_medium_train_250 gun Detection preview by Segmentation_V11_large_300_train_300 gun Detection preview by Segmentation_v8_large_300_train_300
Original Image: P02305.jpg
GT: gun
gun Detection preview by Box_v11_medium_train_SIXray_OPIXray No objects detected Detection preview by DN_Medium_300_yolov8m_20t7_new gun Detection preview by Segmentatation_v8_medium_train_250 gun Detection preview by Segmentation_V11_large_300_train_300 gun Detection preview by Segmentation_v8_large_300_train_300
Original Image: P02306.jpg
GT: gun
gun Detection preview by Box_v11_medium_train_SIXray_OPIXray No objects detected Detection preview by DN_Medium_300_yolov8m_20t7_new gun Detection preview by Segmentatation_v8_medium_train_250 gun Detection preview by Segmentation_V11_large_300_train_300 gun Detection preview by Segmentation_v8_large_300_train_300
Original Image: P02307.jpg
GT: gun, pliers
gun, pliers Detection preview by Box_v11_medium_train_SIXray_OPIXray No objects detected Detection preview by DN_Medium_300_yolov8m_20t7_new gun Detection preview by Segmentatation_v8_medium_train_250 gun Detection preview by Segmentation_V11_large_300_train_300 gun Detection preview by Segmentation_v8_large_300_train_300
Original Image: P02308.jpg
GT: gun, pliers
gun, pliers Detection preview by Box_v11_medium_train_SIXray_OPIXray No objects detected Detection preview by DN_Medium_300_yolov8m_20t7_new gun Detection preview by Segmentatation_v8_medium_train_250 gun Detection preview by Segmentation_V11_large_300_train_300 gun Detection preview by Segmentation_v8_large_300_train_300
Original Image: P02309.jpg
GT: gun, pliers
gun, pliers Detection preview by Box_v11_medium_train_SIXray_OPIXray gun Detection preview by DN_Medium_300_yolov8m_20t7_new gun Detection preview by Segmentatation_v8_medium_train_250 gun Detection preview by Segmentation_V11_large_300_train_300 gun Detection preview by Segmentation_v8_large_300_train_300
Original Image: P02310.jpg
GT: gun, pliers
gun, pliers Detection preview by Box_v11_medium_train_SIXray_OPIXray No objects detected Detection preview by DN_Medium_300_yolov8m_20t7_new gun Detection preview by Segmentatation_v8_medium_train_250 gun Detection preview by Segmentation_V11_large_300_train_300 gun Detection preview by Segmentation_v8_large_300_train_300
Original Image: P02311.jpg
GT: gun, pliers, wrench
gun, pliers, wrench Detection preview by Box_v11_medium_train_SIXray_OPIXray No objects detected Detection preview by DN_Medium_300_yolov8m_20t7_new gun, wrench Detection preview by Segmentatation_v8_medium_train_250 gun, wrench Detection preview by Segmentation_V11_large_300_train_300 gun, wrench Detection preview by Segmentation_v8_large_300_train_300
Original Image: P02312.jpg
GT: gun, pliers, wrench
gun, pliers, wrench Detection preview by Box_v11_medium_train_SIXray_OPIXray No objects detected Detection preview by DN_Medium_300_yolov8m_20t7_new gun, wrench Detection preview by Segmentatation_v8_medium_train_250 gun, wrench Detection preview by Segmentation_V11_large_300_train_300 gun, wrench Detection preview by Segmentation_v8_large_300_train_300
Original Image: P02313.jpg
GT: gun, pliers
gun, pliers Detection preview by Box_v11_medium_train_SIXray_OPIXray No objects detected Detection preview by DN_Medium_300_yolov8m_20t7_new gun Detection preview by Segmentatation_v8_medium_train_250 gun Detection preview by Segmentation_V11_large_300_train_300 gun Detection preview by Segmentation_v8_large_300_train_300
Original Image: P02314.jpg
GT: knife
knife Detection preview by Box_v11_medium_train_SIXray_OPIXray No objects detected Detection preview by DN_Medium_300_yolov8m_20t7_new knife Detection preview by Segmentatation_v8_medium_train_250 knife Detection preview by Segmentation_V11_large_300_train_300 knife Detection preview by Segmentation_v8_large_300_train_300
Original Image: P02315.jpg
GT: gun, knife
gun, knife Detection preview by Box_v11_medium_train_SIXray_OPIXray gun Detection preview by DN_Medium_300_yolov8m_20t7_new gun, knife Detection preview by Segmentatation_v8_medium_train_250 gun, knife Detection preview by Segmentation_V11_large_300_train_300 gun, knife Detection preview by Segmentation_v8_large_300_train_300
Original Image: P02316.jpg
GT: gun, knife
gun, knife Detection preview by Box_v11_medium_train_SIXray_OPIXray gun Detection preview by DN_Medium_300_yolov8m_20t7_new gun, knife Detection preview by Segmentatation_v8_medium_train_250 gun, knife Detection preview by Segmentation_V11_large_300_train_300 gun, knife Detection preview by Segmentation_v8_large_300_train_300
Original Image: P02317.jpg
GT: knife
knife Detection preview by Box_v11_medium_train_SIXray_OPIXray No objects detected Detection preview by DN_Medium_300_yolov8m_20t7_new knife Detection preview by Segmentatation_v8_medium_train_250 knife Detection preview by Segmentation_V11_large_300_train_300 knife Detection preview by Segmentation_v8_large_300_train_300
Original Image: P02318.jpg
GT: knife
knife Detection preview by Box_v11_medium_train_SIXray_OPIXray No objects detected Detection preview by DN_Medium_300_yolov8m_20t7_new knife Detection preview by Segmentatation_v8_medium_train_250 knife Detection preview by Segmentation_V11_large_300_train_300 knife Detection preview by Segmentation_v8_large_300_train_300
Original Image: P02319.jpg
GT: knife
knife Detection preview by Box_v11_medium_train_SIXray_OPIXray No objects detected Detection preview by DN_Medium_300_yolov8m_20t7_new knife Detection preview by Segmentatation_v8_medium_train_250 knife Detection preview by Segmentation_V11_large_300_train_300 knife Detection preview by Segmentation_v8_large_300_train_300
Original Image: P02320.jpg
GT: gun, knife
gun, knife Detection preview by Box_v11_medium_train_SIXray_OPIXray No objects detected Detection preview by DN_Medium_300_yolov8m_20t7_new gun, knife Detection preview by Segmentatation_v8_medium_train_250 gun, knife Detection preview by Segmentation_V11_large_300_train_300 gun, knife Detection preview by Segmentation_v8_large_300_train_300
Original Image: P02321.jpg
GT: knife
knife Detection preview by Box_v11_medium_train_SIXray_OPIXray No objects detected Detection preview by DN_Medium_300_yolov8m_20t7_new knife Detection preview by Segmentatation_v8_medium_train_250 knife Detection preview by Segmentation_V11_large_300_train_300 knife Detection preview by Segmentation_v8_large_300_train_300
Original Image: P02322.jpg
GT: gun, knife
gun, knife Detection preview by Box_v11_medium_train_SIXray_OPIXray gun Detection preview by DN_Medium_300_yolov8m_20t7_new gun, knife Detection preview by Segmentatation_v8_medium_train_250 gun, knife Detection preview by Segmentation_V11_large_300_train_300 gun, knife Detection preview by Segmentation_v8_large_300_train_300
Original Image: P02323.jpg
GT: gun, knife
gun, knife Detection preview by Box_v11_medium_train_SIXray_OPIXray No objects detected Detection preview by DN_Medium_300_yolov8m_20t7_new gun, knife Detection preview by Segmentatation_v8_medium_train_250 gun, knife Detection preview by Segmentation_V11_large_300_train_300 gun, knife Detection preview by Segmentation_v8_large_300_train_300
Original Image: P02324.jpg
GT: gun
gun Detection preview by Box_v11_medium_train_SIXray_OPIXray No objects detected Detection preview by DN_Medium_300_yolov8m_20t7_new gun Detection preview by Segmentatation_v8_medium_train_250 gun Detection preview by Segmentation_V11_large_300_train_300 gun Detection preview by Segmentation_v8_large_300_train_300
Original Image: P02325.jpg
GT: gun
gun Detection preview by Box_v11_medium_train_SIXray_OPIXray gun Detection preview by DN_Medium_300_yolov8m_20t7_new gun Detection preview by Segmentatation_v8_medium_train_250 gun Detection preview by Segmentation_V11_large_300_train_300 gun Detection preview by Segmentation_v8_large_300_train_300
Original Image: P02326.jpg
GT: gun
gun Detection preview by Box_v11_medium_train_SIXray_OPIXray No objects detected Detection preview by DN_Medium_300_yolov8m_20t7_new gun Detection preview by Segmentatation_v8_medium_train_250 gun Detection preview by Segmentation_V11_large_300_train_300 gun Detection preview by Segmentation_v8_large_300_train_300
Original Image: P02327.jpg
GT: gun
gun Detection preview by Box_v11_medium_train_SIXray_OPIXray No objects detected Detection preview by DN_Medium_300_yolov8m_20t7_new gun Detection preview by Segmentatation_v8_medium_train_250 gun Detection preview by Segmentation_V11_large_300_train_300 gun Detection preview by Segmentation_v8_large_300_train_300
Original Image: P02328.jpg
GT: gun
gun Detection preview by Box_v11_medium_train_SIXray_OPIXray No objects detected Detection preview by DN_Medium_300_yolov8m_20t7_new gun Detection preview by Segmentatation_v8_medium_train_250 gun Detection preview by Segmentation_V11_large_300_train_300 gun Detection preview by Segmentation_v8_large_300_train_300
Original Image: P02329.jpg
GT: gun
gun Detection preview by Box_v11_medium_train_SIXray_OPIXray No objects detected Detection preview by DN_Medium_300_yolov8m_20t7_new gun Detection preview by Segmentatation_v8_medium_train_250 gun Detection preview by Segmentation_V11_large_300_train_300 gun Detection preview by Segmentation_v8_large_300_train_300
Original Image: P02330.jpg
GT: gun
gun Detection preview by Box_v11_medium_train_SIXray_OPIXray No objects detected Detection preview by DN_Medium_300_yolov8m_20t7_new gun Detection preview by Segmentatation_v8_medium_train_250 gun Detection preview by Segmentation_V11_large_300_train_300 gun Detection preview by Segmentation_v8_large_300_train_300
Original Image: P02331.jpg
GT: gun
gun Detection preview by Box_v11_medium_train_SIXray_OPIXray No objects detected Detection preview by DN_Medium_300_yolov8m_20t7_new gun Detection preview by Segmentatation_v8_medium_train_250 gun Detection preview by Segmentation_V11_large_300_train_300 gun Detection preview by Segmentation_v8_large_300_train_300
Original Image: P02332.jpg
GT: gun
gun Detection preview by Box_v11_medium_train_SIXray_OPIXray No objects detected Detection preview by DN_Medium_300_yolov8m_20t7_new gun Detection preview by Segmentatation_v8_medium_train_250 gun Detection preview by Segmentation_V11_large_300_train_300 gun Detection preview by Segmentation_v8_large_300_train_300
Original Image: P02333.jpg
GT: gun
gun Detection preview by Box_v11_medium_train_SIXray_OPIXray gun Detection preview by DN_Medium_300_yolov8m_20t7_new gun Detection preview by Segmentatation_v8_medium_train_250 gun Detection preview by Segmentation_V11_large_300_train_300 gun Detection preview by Segmentation_v8_large_300_train_300
Original Image: P02334.jpg
GT: gun, knife
gun, knife Detection preview by Box_v11_medium_train_SIXray_OPIXray gun Detection preview by DN_Medium_300_yolov8m_20t7_new gun, knife Detection preview by Segmentatation_v8_medium_train_250 gun, knife Detection preview by Segmentation_V11_large_300_train_300 gun, knife Detection preview by Segmentation_v8_large_300_train_300
Original Image: P02335.jpg
GT: gun
gun Detection preview by Box_v11_medium_train_SIXray_OPIXray No objects detected Detection preview by DN_Medium_300_yolov8m_20t7_new gun Detection preview by Segmentatation_v8_medium_train_250 gun Detection preview by Segmentation_V11_large_300_train_300 gun Detection preview by Segmentation_v8_large_300_train_300
Original Image: P02336.jpg
GT: gun
gun Detection preview by Box_v11_medium_train_SIXray_OPIXray No objects detected Detection preview by DN_Medium_300_yolov8m_20t7_new gun Detection preview by Segmentatation_v8_medium_train_250 gun Detection preview by Segmentation_V11_large_300_train_300 gun Detection preview by Segmentation_v8_large_300_train_300
Original Image: P02337.jpg
GT: gun, knife
gun, knife Detection preview by Box_v11_medium_train_SIXray_OPIXray gun Detection preview by DN_Medium_300_yolov8m_20t7_new gun, knife Detection preview by Segmentatation_v8_medium_train_250 gun, knife Detection preview by Segmentation_V11_large_300_train_300 gun, knife Detection preview by Segmentation_v8_large_300_train_300
Original Image: P02338.jpg
GT: gun
gun Detection preview by Box_v11_medium_train_SIXray_OPIXray No objects detected Detection preview by DN_Medium_300_yolov8m_20t7_new gun Detection preview by Segmentatation_v8_medium_train_250 gun Detection preview by Segmentation_V11_large_300_train_300 gun Detection preview by Segmentation_v8_large_300_train_300
Original Image: P02339.jpg
GT: gun
gun Detection preview by Box_v11_medium_train_SIXray_OPIXray No objects detected Detection preview by DN_Medium_300_yolov8m_20t7_new gun Detection preview by Segmentatation_v8_medium_train_250 gun Detection preview by Segmentation_V11_large_300_train_300 gun Detection preview by Segmentation_v8_large_300_train_300
Original Image: P02340.jpg
GT: gun
gun Detection preview by Box_v11_medium_train_SIXray_OPIXray No objects detected Detection preview by DN_Medium_300_yolov8m_20t7_new gun Detection preview by Segmentatation_v8_medium_train_250 gun Detection preview by Segmentation_V11_large_300_train_300 gun Detection preview by Segmentation_v8_large_300_train_300
Original Image: P02341.jpg
GT: gun, knife
gun, knife Detection preview by Box_v11_medium_train_SIXray_OPIXray No objects detected Detection preview by DN_Medium_300_yolov8m_20t7_new gun, knife Detection preview by Segmentatation_v8_medium_train_250 gun, knife Detection preview by Segmentation_V11_large_300_train_300 gun, knife Detection preview by Segmentation_v8_large_300_train_300
Original Image: P02342.jpg
GT: gun
gun Detection preview by Box_v11_medium_train_SIXray_OPIXray No objects detected Detection preview by DN_Medium_300_yolov8m_20t7_new gun Detection preview by Segmentatation_v8_medium_train_250 gun Detection preview by Segmentation_V11_large_300_train_300 gun Detection preview by Segmentation_v8_large_300_train_300
Original Image: P02343.jpg
GT: gun
gun Detection preview by Box_v11_medium_train_SIXray_OPIXray No objects detected Detection preview by DN_Medium_300_yolov8m_20t7_new gun Detection preview by Segmentatation_v8_medium_train_250 gun Detection preview by Segmentation_V11_large_300_train_300 gun Detection preview by Segmentation_v8_large_300_train_300
Original Image: P02344.jpg
GT: gun
gun Detection preview by Box_v11_medium_train_SIXray_OPIXray No objects detected Detection preview by DN_Medium_300_yolov8m_20t7_new gun Detection preview by Segmentatation_v8_medium_train_250 gun Detection preview by Segmentation_V11_large_300_train_300 gun Detection preview by Segmentation_v8_large_300_train_300
Original Image: P02345.jpg
GT: gun
gun Detection preview by Box_v11_medium_train_SIXray_OPIXray No objects detected Detection preview by DN_Medium_300_yolov8m_20t7_new gun Detection preview by Segmentatation_v8_medium_train_250 gun Detection preview by Segmentation_V11_large_300_train_300 gun Detection preview by Segmentation_v8_large_300_train_300
Original Image: P02346.jpg
GT: gun, knife
gun, knife Detection preview by Box_v11_medium_train_SIXray_OPIXray No objects detected Detection preview by DN_Medium_300_yolov8m_20t7_new gun, knife Detection preview by Segmentatation_v8_medium_train_250 gun, knife Detection preview by Segmentation_V11_large_300_train_300 gun, knife Detection preview by Segmentation_v8_large_300_train_300
Original Image: P02347.jpg
GT: gun
gun Detection preview by Box_v11_medium_train_SIXray_OPIXray No objects detected Detection preview by DN_Medium_300_yolov8m_20t7_new gun Detection preview by Segmentatation_v8_medium_train_250 gun Detection preview by Segmentation_V11_large_300_train_300 gun Detection preview by Segmentation_v8_large_300_train_300
Original Image: P02348.jpg
GT: gun
gun Detection preview by Box_v11_medium_train_SIXray_OPIXray No objects detected Detection preview by DN_Medium_300_yolov8m_20t7_new gun Detection preview by Segmentatation_v8_medium_train_250 gun Detection preview by Segmentation_V11_large_300_train_300 gun Detection preview by Segmentation_v8_large_300_train_300
Original Image: P02349.jpg
GT: gun
gun Detection preview by Box_v11_medium_train_SIXray_OPIXray No objects detected Detection preview by DN_Medium_300_yolov8m_20t7_new gun Detection preview by Segmentatation_v8_medium_train_250 gun Detection preview by Segmentation_V11_large_300_train_300 gun Detection preview by Segmentation_v8_large_300_train_300
Original Image: P02350.jpg
GT: gun
gun Detection preview by Box_v11_medium_train_SIXray_OPIXray No objects detected Detection preview by DN_Medium_300_yolov8m_20t7_new gun Detection preview by Segmentatation_v8_medium_train_250 gun Detection preview by Segmentation_V11_large_300_train_300 gun Detection preview by Segmentation_v8_large_300_train_300
Original Image: P02351.jpg
GT: gun, knife
gun, knife Detection preview by Box_v11_medium_train_SIXray_OPIXray No objects detected Detection preview by DN_Medium_300_yolov8m_20t7_new gun, knife Detection preview by Segmentatation_v8_medium_train_250 gun, knife Detection preview by Segmentation_V11_large_300_train_300 gun, knife Detection preview by Segmentation_v8_large_300_train_300
Original Image: P02352.jpg
GT: gun
gun Detection preview by Box_v11_medium_train_SIXray_OPIXray No objects detected Detection preview by DN_Medium_300_yolov8m_20t7_new gun Detection preview by Segmentatation_v8_medium_train_250 gun Detection preview by Segmentation_V11_large_300_train_300 gun Detection preview by Segmentation_v8_large_300_train_300
Original Image: P02353.jpg
GT: gun
gun Detection preview by Box_v11_medium_train_SIXray_OPIXray gun Detection preview by DN_Medium_300_yolov8m_20t7_new gun Detection preview by Segmentatation_v8_medium_train_250 gun Detection preview by Segmentation_V11_large_300_train_300 gun Detection preview by Segmentation_v8_large_300_train_300
Original Image: P02354.jpg
GT: gun, knife
gun, knife Detection preview by Box_v11_medium_train_SIXray_OPIXray No objects detected Detection preview by DN_Medium_300_yolov8m_20t7_new gun, knife Detection preview by Segmentatation_v8_medium_train_250 gun, knife Detection preview by Segmentation_V11_large_300_train_300 gun, knife Detection preview by Segmentation_v8_large_300_train_300
Original Image: P02355.jpg
GT: gun
gun Detection preview by Box_v11_medium_train_SIXray_OPIXray No objects detected Detection preview by DN_Medium_300_yolov8m_20t7_new gun Detection preview by Segmentatation_v8_medium_train_250 gun Detection preview by Segmentation_V11_large_300_train_300 gun Detection preview by Segmentation_v8_large_300_train_300
Original Image: P02356.jpg
GT: gun
gun Detection preview by Box_v11_medium_train_SIXray_OPIXray No objects detected Detection preview by DN_Medium_300_yolov8m_20t7_new gun Detection preview by Segmentatation_v8_medium_train_250 gun Detection preview by Segmentation_V11_large_300_train_300 gun Detection preview by Segmentation_v8_large_300_train_300
Original Image: P02357.jpg
GT: gun, knife
gun, knife Detection preview by Box_v11_medium_train_SIXray_OPIXray gun Detection preview by DN_Medium_300_yolov8m_20t7_new gun, knife Detection preview by Segmentatation_v8_medium_train_250 gun, knife Detection preview by Segmentation_V11_large_300_train_300 gun, knife Detection preview by Segmentation_v8_large_300_train_300
Original Image: P02358.jpg
GT: gun
gun Detection preview by Box_v11_medium_train_SIXray_OPIXray No objects detected Detection preview by DN_Medium_300_yolov8m_20t7_new gun Detection preview by Segmentatation_v8_medium_train_250 gun Detection preview by Segmentation_V11_large_300_train_300 gun Detection preview by Segmentation_v8_large_300_train_300
Original Image: P02359.jpg
GT: gun
gun Detection preview by Box_v11_medium_train_SIXray_OPIXray No objects detected Detection preview by DN_Medium_300_yolov8m_20t7_new gun Detection preview by Segmentatation_v8_medium_train_250 gun Detection preview by Segmentation_V11_large_300_train_300 gun Detection preview by Segmentation_v8_large_300_train_300
Original Image: P02360.jpg
GT: gun
gun Detection preview by Box_v11_medium_train_SIXray_OPIXray No objects detected Detection preview by DN_Medium_300_yolov8m_20t7_new gun Detection preview by Segmentatation_v8_medium_train_250 gun Detection preview by Segmentation_V11_large_300_train_300 gun Detection preview by Segmentation_v8_large_300_train_300
Original Image: P02361.jpg
GT: gun
gun Detection preview by Box_v11_medium_train_SIXray_OPIXray No objects detected Detection preview by DN_Medium_300_yolov8m_20t7_new gun Detection preview by Segmentatation_v8_medium_train_250 gun Detection preview by Segmentation_V11_large_300_train_300 gun Detection preview by Segmentation_v8_large_300_train_300
Original Image: P02362.jpg
GT: gun, knife
gun, knife Detection preview by Box_v11_medium_train_SIXray_OPIXray gun Detection preview by DN_Medium_300_yolov8m_20t7_new gun, knife Detection preview by Segmentatation_v8_medium_train_250 gun, knife Detection preview by Segmentation_V11_large_300_train_300 gun, knife Detection preview by Segmentation_v8_large_300_train_300
Original Image: P02363.jpg
GT: gun
gun Detection preview by Box_v11_medium_train_SIXray_OPIXray No objects detected Detection preview by DN_Medium_300_yolov8m_20t7_new gun Detection preview by Segmentatation_v8_medium_train_250 gun Detection preview by Segmentation_V11_large_300_train_300 gun Detection preview by Segmentation_v8_large_300_train_300
Original Image: P02364.jpg
GT: gun
gun Detection preview by Box_v11_medium_train_SIXray_OPIXray No objects detected Detection preview by DN_Medium_300_yolov8m_20t7_new gun Detection preview by Segmentatation_v8_medium_train_250 gun Detection preview by Segmentation_V11_large_300_train_300 gun Detection preview by Segmentation_v8_large_300_train_300
Original Image: P02365.jpg
GT: gun
gun Detection preview by Box_v11_medium_train_SIXray_OPIXray No objects detected Detection preview by DN_Medium_300_yolov8m_20t7_new gun Detection preview by Segmentatation_v8_medium_train_250 gun Detection preview by Segmentation_V11_large_300_train_300 gun Detection preview by Segmentation_v8_large_300_train_300
Original Image: P02366.jpg
GT: gun
gun Detection preview by Box_v11_medium_train_SIXray_OPIXray No objects detected Detection preview by DN_Medium_300_yolov8m_20t7_new gun Detection preview by Segmentatation_v8_medium_train_250 gun Detection preview by Segmentation_V11_large_300_train_300 gun Detection preview by Segmentation_v8_large_300_train_300
Original Image: P02367.jpg
GT: gun
gun Detection preview by Box_v11_medium_train_SIXray_OPIXray No objects detected Detection preview by DN_Medium_300_yolov8m_20t7_new gun Detection preview by Segmentatation_v8_medium_train_250 gun Detection preview by Segmentation_V11_large_300_train_300 gun Detection preview by Segmentation_v8_large_300_train_300
Original Image: P02368.jpg
GT: gun
gun Detection preview by Box_v11_medium_train_SIXray_OPIXray No objects detected Detection preview by DN_Medium_300_yolov8m_20t7_new gun Detection preview by Segmentatation_v8_medium_train_250 gun Detection preview by Segmentation_V11_large_300_train_300 gun Detection preview by Segmentation_v8_large_300_train_300
Original Image: P02369.jpg
GT: knife
knife Detection preview by Box_v11_medium_train_SIXray_OPIXray No objects detected Detection preview by DN_Medium_300_yolov8m_20t7_new knife Detection preview by Segmentatation_v8_medium_train_250 knife Detection preview by Segmentation_V11_large_300_train_300 knife Detection preview by Segmentation_v8_large_300_train_300
Original Image: P02370.jpg
GT: gun
gun Detection preview by Box_v11_medium_train_SIXray_OPIXray No objects detected Detection preview by DN_Medium_300_yolov8m_20t7_new gun Detection preview by Segmentatation_v8_medium_train_250 gun Detection preview by Segmentation_V11_large_300_train_300 gun Detection preview by Segmentation_v8_large_300_train_300
Original Image: P02371.jpg
GT: gun
gun Detection preview by Box_v11_medium_train_SIXray_OPIXray No objects detected Detection preview by DN_Medium_300_yolov8m_20t7_new gun Detection preview by Segmentatation_v8_medium_train_250 gun Detection preview by Segmentation_V11_large_300_train_300 gun Detection preview by Segmentation_v8_large_300_train_300
Original Image: P02372.jpg
GT: knife
knife Detection preview by Box_v11_medium_train_SIXray_OPIXray No objects detected Detection preview by DN_Medium_300_yolov8m_20t7_new knife Detection preview by Segmentatation_v8_medium_train_250 knife Detection preview by Segmentation_V11_large_300_train_300 knife Detection preview by Segmentation_v8_large_300_train_300
Original Image: P02373.jpg
GT: gun
gun Detection preview by Box_v11_medium_train_SIXray_OPIXray No objects detected Detection preview by DN_Medium_300_yolov8m_20t7_new gun Detection preview by Segmentatation_v8_medium_train_250 gun Detection preview by Segmentation_V11_large_300_train_300 gun Detection preview by Segmentation_v8_large_300_train_300
Original Image: P02374.jpg
GT: gun
gun Detection preview by Box_v11_medium_train_SIXray_OPIXray gun Detection preview by DN_Medium_300_yolov8m_20t7_new gun Detection preview by Segmentatation_v8_medium_train_250 gun Detection preview by Segmentation_V11_large_300_train_300 gun Detection preview by Segmentation_v8_large_300_train_300
Original Image: P02375.jpg
GT: gun
gun Detection preview by Box_v11_medium_train_SIXray_OPIXray No objects detected Detection preview by DN_Medium_300_yolov8m_20t7_new gun Detection preview by Segmentatation_v8_medium_train_250 gun Detection preview by Segmentation_V11_large_300_train_300 gun Detection preview by Segmentation_v8_large_300_train_300
Original Image: P02376.jpg
GT: knife
knife Detection preview by Box_v11_medium_train_SIXray_OPIXray No objects detected Detection preview by DN_Medium_300_yolov8m_20t7_new knife Detection preview by Segmentatation_v8_medium_train_250 knife Detection preview by Segmentation_V11_large_300_train_300 knife Detection preview by Segmentation_v8_large_300_train_300
Original Image: P02377.jpg
GT: gun
gun Detection preview by Box_v11_medium_train_SIXray_OPIXray gun Detection preview by DN_Medium_300_yolov8m_20t7_new gun Detection preview by Segmentatation_v8_medium_train_250 gun Detection preview by Segmentation_V11_large_300_train_300 gun Detection preview by Segmentation_v8_large_300_train_300
Original Image: P02378.jpg
GT: gun, knife
gun, knife Detection preview by Box_v11_medium_train_SIXray_OPIXray No objects detected Detection preview by DN_Medium_300_yolov8m_20t7_new gun, knife Detection preview by Segmentatation_v8_medium_train_250 gun, knife Detection preview by Segmentation_V11_large_300_train_300 gun, knife Detection preview by Segmentation_v8_large_300_train_300
Original Image: P02379.jpg
GT: knife
knife Detection preview by Box_v11_medium_train_SIXray_OPIXray No objects detected Detection preview by DN_Medium_300_yolov8m_20t7_new knife Detection preview by Segmentatation_v8_medium_train_250 knife Detection preview by Segmentation_V11_large_300_train_300 knife Detection preview by Segmentation_v8_large_300_train_300
Original Image: P02380.jpg
GT: gun
gun Detection preview by Box_v11_medium_train_SIXray_OPIXray No objects detected Detection preview by DN_Medium_300_yolov8m_20t7_new gun Detection preview by Segmentatation_v8_medium_train_250 gun Detection preview by Segmentation_V11_large_300_train_300 gun Detection preview by Segmentation_v8_large_300_train_300
Original Image: P02381.jpg
GT: gun
gun Detection preview by Box_v11_medium_train_SIXray_OPIXray No objects detected Detection preview by DN_Medium_300_yolov8m_20t7_new gun Detection preview by Segmentatation_v8_medium_train_250 gun Detection preview by Segmentation_V11_large_300_train_300 gun Detection preview by Segmentation_v8_large_300_train_300
Original Image: P02382.jpg
GT: gun
gun Detection preview by Box_v11_medium_train_SIXray_OPIXray No objects detected Detection preview by DN_Medium_300_yolov8m_20t7_new gun Detection preview by Segmentatation_v8_medium_train_250 gun Detection preview by Segmentation_V11_large_300_train_300 gun Detection preview by Segmentation_v8_large_300_train_300
Original Image: P02383.jpg
GT: gun
gun Detection preview by Box_v11_medium_train_SIXray_OPIXray gun Detection preview by DN_Medium_300_yolov8m_20t7_new gun Detection preview by Segmentatation_v8_medium_train_250 gun Detection preview by Segmentation_V11_large_300_train_300 gun Detection preview by Segmentation_v8_large_300_train_300
Original Image: P02384.jpg
GT: gun
gun Detection preview by Box_v11_medium_train_SIXray_OPIXray No objects detected Detection preview by DN_Medium_300_yolov8m_20t7_new gun Detection preview by Segmentatation_v8_medium_train_250 gun Detection preview by Segmentation_V11_large_300_train_300 gun Detection preview by Segmentation_v8_large_300_train_300
Original Image: P02385.jpg
GT: knife
knife Detection preview by Box_v11_medium_train_SIXray_OPIXray No objects detected Detection preview by DN_Medium_300_yolov8m_20t7_new knife Detection preview by Segmentatation_v8_medium_train_250 knife Detection preview by Segmentation_V11_large_300_train_300 knife Detection preview by Segmentation_v8_large_300_train_300
Original Image: P02386.jpg
GT: gun
gun Detection preview by Box_v11_medium_train_SIXray_OPIXray No objects detected Detection preview by DN_Medium_300_yolov8m_20t7_new gun Detection preview by Segmentatation_v8_medium_train_250 gun Detection preview by Segmentation_V11_large_300_train_300 gun Detection preview by Segmentation_v8_large_300_train_300
Original Image: P02387.jpg
GT: gun
gun Detection preview by Box_v11_medium_train_SIXray_OPIXray gun Detection preview by DN_Medium_300_yolov8m_20t7_new gun Detection preview by Segmentatation_v8_medium_train_250 gun Detection preview by Segmentation_V11_large_300_train_300 gun Detection preview by Segmentation_v8_large_300_train_300
Original Image: P02388.jpg
GT: gun
gun Detection preview by Box_v11_medium_train_SIXray_OPIXray No objects detected Detection preview by DN_Medium_300_yolov8m_20t7_new gun Detection preview by Segmentatation_v8_medium_train_250 gun Detection preview by Segmentation_V11_large_300_train_300 gun Detection preview by Segmentation_v8_large_300_train_300
Original Image: P02389.jpg
GT: gun
gun Detection preview by Box_v11_medium_train_SIXray_OPIXray No objects detected Detection preview by DN_Medium_300_yolov8m_20t7_new gun Detection preview by Segmentatation_v8_medium_train_250 gun Detection preview by Segmentation_V11_large_300_train_300 gun Detection preview by Segmentation_v8_large_300_train_300
Original Image: P02390.jpg
GT: knife
knife Detection preview by Box_v11_medium_train_SIXray_OPIXray No objects detected Detection preview by DN_Medium_300_yolov8m_20t7_new knife Detection preview by Segmentatation_v8_medium_train_250 knife Detection preview by Segmentation_V11_large_300_train_300 knife Detection preview by Segmentation_v8_large_300_train_300
Original Image: P02391.jpg
GT: gun
gun Detection preview by Box_v11_medium_train_SIXray_OPIXray No objects detected Detection preview by DN_Medium_300_yolov8m_20t7_new gun Detection preview by Segmentatation_v8_medium_train_250 gun Detection preview by Segmentation_V11_large_300_train_300 gun Detection preview by Segmentation_v8_large_300_train_300
Original Image: P02392.jpg
GT: gun
gun Detection preview by Box_v11_medium_train_SIXray_OPIXray No objects detected Detection preview by DN_Medium_300_yolov8m_20t7_new gun Detection preview by Segmentatation_v8_medium_train_250 gun Detection preview by Segmentation_V11_large_300_train_300 gun Detection preview by Segmentation_v8_large_300_train_300
Original Image: P02393.jpg
GT: gun
gun Detection preview by Box_v11_medium_train_SIXray_OPIXray No objects detected Detection preview by DN_Medium_300_yolov8m_20t7_new gun Detection preview by Segmentatation_v8_medium_train_250 gun Detection preview by Segmentation_V11_large_300_train_300 gun Detection preview by Segmentation_v8_large_300_train_300
Original Image: P02394.jpg
GT: gun
gun Detection preview by Box_v11_medium_train_SIXray_OPIXray No objects detected Detection preview by DN_Medium_300_yolov8m_20t7_new gun Detection preview by Segmentatation_v8_medium_train_250 gun Detection preview by Segmentation_V11_large_300_train_300 gun Detection preview by Segmentation_v8_large_300_train_300
Original Image: P02395.jpg
GT: gun
gun Detection preview by Box_v11_medium_train_SIXray_OPIXray No objects detected Detection preview by DN_Medium_300_yolov8m_20t7_new gun Detection preview by Segmentatation_v8_medium_train_250 gun Detection preview by Segmentation_V11_large_300_train_300 gun Detection preview by Segmentation_v8_large_300_train_300
Original Image: P02396.jpg
GT: gun
gun Detection preview by Box_v11_medium_train_SIXray_OPIXray gun Detection preview by DN_Medium_300_yolov8m_20t7_new gun Detection preview by Segmentatation_v8_medium_train_250 gun Detection preview by Segmentation_V11_large_300_train_300 gun Detection preview by Segmentation_v8_large_300_train_300
Original Image: P02397.jpg
GT: knife
knife Detection preview by Box_v11_medium_train_SIXray_OPIXray No objects detected Detection preview by DN_Medium_300_yolov8m_20t7_new knife Detection preview by Segmentatation_v8_medium_train_250 knife Detection preview by Segmentation_V11_large_300_train_300 knife Detection preview by Segmentation_v8_large_300_train_300
Original Image: P02398.jpg
GT: gun
gun Detection preview by Box_v11_medium_train_SIXray_OPIXray No objects detected Detection preview by DN_Medium_300_yolov8m_20t7_new gun Detection preview by Segmentatation_v8_medium_train_250 gun Detection preview by Segmentation_V11_large_300_train_300 gun Detection preview by Segmentation_v8_large_300_train_300
Original Image: P02399.jpg
GT: gun
gun Detection preview by Box_v11_medium_train_SIXray_OPIXray No objects detected Detection preview by DN_Medium_300_yolov8m_20t7_new gun Detection preview by Segmentatation_v8_medium_train_250 gun Detection preview by Segmentation_V11_large_300_train_300 gun Detection preview by Segmentation_v8_large_300_train_300
Original Image: P02400.jpg
GT: gun
gun Detection preview by Box_v11_medium_train_SIXray_OPIXray No objects detected Detection preview by DN_Medium_300_yolov8m_20t7_new gun Detection preview by Segmentatation_v8_medium_train_250 gun Detection preview by Segmentation_V11_large_300_train_300 gun Detection preview by Segmentation_v8_large_300_train_300
Original Image: P02401.jpg
GT: gun
gun Detection preview by Box_v11_medium_train_SIXray_OPIXray No objects detected Detection preview by DN_Medium_300_yolov8m_20t7_new gun Detection preview by Segmentatation_v8_medium_train_250 gun Detection preview by Segmentation_V11_large_300_train_300 gun Detection preview by Segmentation_v8_large_300_train_300
Original Image: P02402.jpg
GT: gun
gun Detection preview by Box_v11_medium_train_SIXray_OPIXray No objects detected Detection preview by DN_Medium_300_yolov8m_20t7_new gun Detection preview by Segmentatation_v8_medium_train_250 gun Detection preview by Segmentation_V11_large_300_train_300 gun Detection preview by Segmentation_v8_large_300_train_300
Original Image: P02403.jpg
GT: gun
gun Detection preview by Box_v11_medium_train_SIXray_OPIXray gun Detection preview by DN_Medium_300_yolov8m_20t7_new gun Detection preview by Segmentatation_v8_medium_train_250 gun Detection preview by Segmentation_V11_large_300_train_300 gun Detection preview by Segmentation_v8_large_300_train_300
Original Image: P02404.jpg
GT: gun
gun Detection preview by Box_v11_medium_train_SIXray_OPIXray No objects detected Detection preview by DN_Medium_300_yolov8m_20t7_new gun Detection preview by Segmentatation_v8_medium_train_250 gun Detection preview by Segmentation_V11_large_300_train_300 gun Detection preview by Segmentation_v8_large_300_train_300
Original Image: P02405.jpg
GT: gun
gun Detection preview by Box_v11_medium_train_SIXray_OPIXray No objects detected Detection preview by DN_Medium_300_yolov8m_20t7_new gun Detection preview by Segmentatation_v8_medium_train_250 gun Detection preview by Segmentation_V11_large_300_train_300 gun Detection preview by Segmentation_v8_large_300_train_300
Original Image: P02406.jpg
GT: gun
gun Detection preview by Box_v11_medium_train_SIXray_OPIXray No objects detected Detection preview by DN_Medium_300_yolov8m_20t7_new gun Detection preview by Segmentatation_v8_medium_train_250 gun Detection preview by Segmentation_V11_large_300_train_300 gun Detection preview by Segmentation_v8_large_300_train_300
Original Image: P02407.jpg
GT: gun
gun Detection preview by Box_v11_medium_train_SIXray_OPIXray No objects detected Detection preview by DN_Medium_300_yolov8m_20t7_new gun Detection preview by Segmentatation_v8_medium_train_250 gun Detection preview by Segmentation_V11_large_300_train_300 gun Detection preview by Segmentation_v8_large_300_train_300
Original Image: P02408.jpg
GT: gun
gun Detection preview by Box_v11_medium_train_SIXray_OPIXray gun Detection preview by DN_Medium_300_yolov8m_20t7_new gun Detection preview by Segmentatation_v8_medium_train_250 gun Detection preview by Segmentation_V11_large_300_train_300 gun Detection preview by Segmentation_v8_large_300_train_300
Original Image: P02409.jpg
GT: knife
knife Detection preview by Box_v11_medium_train_SIXray_OPIXray No objects detected Detection preview by DN_Medium_300_yolov8m_20t7_new knife Detection preview by Segmentatation_v8_medium_train_250 knife Detection preview by Segmentation_V11_large_300_train_300 knife Detection preview by Segmentation_v8_large_300_train_300
Original Image: P02410.jpg
GT: gun
gun Detection preview by Box_v11_medium_train_SIXray_OPIXray No objects detected Detection preview by DN_Medium_300_yolov8m_20t7_new gun Detection preview by Segmentatation_v8_medium_train_250 gun Detection preview by Segmentation_V11_large_300_train_300 gun Detection preview by Segmentation_v8_large_300_train_300
Original Image: P02411.jpg
GT: gun
gun Detection preview by Box_v11_medium_train_SIXray_OPIXray No objects detected Detection preview by DN_Medium_300_yolov8m_20t7_new gun Detection preview by Segmentatation_v8_medium_train_250 gun Detection preview by Segmentation_V11_large_300_train_300 gun Detection preview by Segmentation_v8_large_300_train_300
Original Image: P02412.jpg
GT: gun
gun Detection preview by Box_v11_medium_train_SIXray_OPIXray gun Detection preview by DN_Medium_300_yolov8m_20t7_new gun Detection preview by Segmentatation_v8_medium_train_250 gun Detection preview by Segmentation_V11_large_300_train_300 gun Detection preview by Segmentation_v8_large_300_train_300
Original Image: P02413.jpg
GT: gun
gun Detection preview by Box_v11_medium_train_SIXray_OPIXray No objects detected Detection preview by DN_Medium_300_yolov8m_20t7_new gun Detection preview by Segmentatation_v8_medium_train_250 gun Detection preview by Segmentation_V11_large_300_train_300 gun Detection preview by Segmentation_v8_large_300_train_300
Original Image: P02414.jpg
GT: gun
gun Detection preview by Box_v11_medium_train_SIXray_OPIXray gun Detection preview by DN_Medium_300_yolov8m_20t7_new gun Detection preview by Segmentatation_v8_medium_train_250 gun Detection preview by Segmentation_V11_large_300_train_300 gun Detection preview by Segmentation_v8_large_300_train_300
Original Image: P02415.jpg
GT: gun
gun Detection preview by Box_v11_medium_train_SIXray_OPIXray No objects detected Detection preview by DN_Medium_300_yolov8m_20t7_new gun Detection preview by Segmentatation_v8_medium_train_250 gun Detection preview by Segmentation_V11_large_300_train_300 gun Detection preview by Segmentation_v8_large_300_train_300
Original Image: P02416.jpg
GT: gun
gun Detection preview by Box_v11_medium_train_SIXray_OPIXray No objects detected Detection preview by DN_Medium_300_yolov8m_20t7_new gun Detection preview by Segmentatation_v8_medium_train_250 gun Detection preview by Segmentation_V11_large_300_train_300 gun Detection preview by Segmentation_v8_large_300_train_300
Original Image: P02417.jpg
GT: gun
gun Detection preview by Box_v11_medium_train_SIXray_OPIXray gun Detection preview by DN_Medium_300_yolov8m_20t7_new gun Detection preview by Segmentatation_v8_medium_train_250 gun Detection preview by Segmentation_V11_large_300_train_300 gun Detection preview by Segmentation_v8_large_300_train_300
Original Image: P02418.jpg
GT: gun
gun Detection preview by Box_v11_medium_train_SIXray_OPIXray gun Detection preview by DN_Medium_300_yolov8m_20t7_new gun Detection preview by Segmentatation_v8_medium_train_250 gun Detection preview by Segmentation_V11_large_300_train_300 gun Detection preview by Segmentation_v8_large_300_train_300
Original Image: P02419.jpg
GT: gun
gun Detection preview by Box_v11_medium_train_SIXray_OPIXray No objects detected Detection preview by DN_Medium_300_yolov8m_20t7_new gun Detection preview by Segmentatation_v8_medium_train_250 gun Detection preview by Segmentation_V11_large_300_train_300 gun Detection preview by Segmentation_v8_large_300_train_300
Original Image: P02420.jpg
GT: gun
gun Detection preview by Box_v11_medium_train_SIXray_OPIXray No objects detected Detection preview by DN_Medium_300_yolov8m_20t7_new gun Detection preview by Segmentatation_v8_medium_train_250 gun Detection preview by Segmentation_V11_large_300_train_300 gun Detection preview by Segmentation_v8_large_300_train_300
Original Image: P02421.jpg
GT: gun
gun Detection preview by Box_v11_medium_train_SIXray_OPIXray No objects detected Detection preview by DN_Medium_300_yolov8m_20t7_new gun Detection preview by Segmentatation_v8_medium_train_250 gun Detection preview by Segmentation_V11_large_300_train_300 gun Detection preview by Segmentation_v8_large_300_train_300
Original Image: P02422.jpg
GT: gun
gun Detection preview by Box_v11_medium_train_SIXray_OPIXray No objects detected Detection preview by DN_Medium_300_yolov8m_20t7_new gun Detection preview by Segmentatation_v8_medium_train_250 gun Detection preview by Segmentation_V11_large_300_train_300 gun Detection preview by Segmentation_v8_large_300_train_300
Original Image: P02423.jpg
GT: gun
gun Detection preview by Box_v11_medium_train_SIXray_OPIXray No objects detected Detection preview by DN_Medium_300_yolov8m_20t7_new gun Detection preview by Segmentatation_v8_medium_train_250 gun Detection preview by Segmentation_V11_large_300_train_300 gun Detection preview by Segmentation_v8_large_300_train_300
Original Image: P02424.jpg
GT: gun
gun Detection preview by Box_v11_medium_train_SIXray_OPIXray No objects detected Detection preview by DN_Medium_300_yolov8m_20t7_new gun Detection preview by Segmentatation_v8_medium_train_250 gun Detection preview by Segmentation_V11_large_300_train_300 gun Detection preview by Segmentation_v8_large_300_train_300
Original Image: P02425.jpg
GT: gun
gun Detection preview by Box_v11_medium_train_SIXray_OPIXray gun Detection preview by DN_Medium_300_yolov8m_20t7_new gun Detection preview by Segmentatation_v8_medium_train_250 gun Detection preview by Segmentation_V11_large_300_train_300 gun Detection preview by Segmentation_v8_large_300_train_300
Original Image: P02426.jpg
GT: gun
gun Detection preview by Box_v11_medium_train_SIXray_OPIXray gun Detection preview by DN_Medium_300_yolov8m_20t7_new gun Detection preview by Segmentatation_v8_medium_train_250 gun Detection preview by Segmentation_V11_large_300_train_300 gun Detection preview by Segmentation_v8_large_300_train_300
Original Image: P02427.jpg
GT: gun
gun Detection preview by Box_v11_medium_train_SIXray_OPIXray No objects detected Detection preview by DN_Medium_300_yolov8m_20t7_new gun Detection preview by Segmentatation_v8_medium_train_250 gun Detection preview by Segmentation_V11_large_300_train_300 gun Detection preview by Segmentation_v8_large_300_train_300
Original Image: P02428.jpg
GT: knife
knife Detection preview by Box_v11_medium_train_SIXray_OPIXray No objects detected Detection preview by DN_Medium_300_yolov8m_20t7_new knife Detection preview by Segmentatation_v8_medium_train_250 knife Detection preview by Segmentation_V11_large_300_train_300 knife Detection preview by Segmentation_v8_large_300_train_300
Original Image: P02429.jpg
GT: gun
gun Detection preview by Box_v11_medium_train_SIXray_OPIXray No objects detected Detection preview by DN_Medium_300_yolov8m_20t7_new gun Detection preview by Segmentatation_v8_medium_train_250 gun Detection preview by Segmentation_V11_large_300_train_300 gun Detection preview by Segmentation_v8_large_300_train_300
Original Image: P02430.jpg
GT: gun
gun Detection preview by Box_v11_medium_train_SIXray_OPIXray No objects detected Detection preview by DN_Medium_300_yolov8m_20t7_new gun Detection preview by Segmentatation_v8_medium_train_250 gun Detection preview by Segmentation_V11_large_300_train_300 gun Detection preview by Segmentation_v8_large_300_train_300
Original Image: P02431.jpg
GT: gun
gun Detection preview by Box_v11_medium_train_SIXray_OPIXray No objects detected Detection preview by DN_Medium_300_yolov8m_20t7_new gun Detection preview by Segmentatation_v8_medium_train_250 gun Detection preview by Segmentation_V11_large_300_train_300 gun Detection preview by Segmentation_v8_large_300_train_300
Original Image: P02432.jpg
GT: gun
gun Detection preview by Box_v11_medium_train_SIXray_OPIXray gun Detection preview by DN_Medium_300_yolov8m_20t7_new gun Detection preview by Segmentatation_v8_medium_train_250 gun Detection preview by Segmentation_V11_large_300_train_300 gun Detection preview by Segmentation_v8_large_300_train_300
Original Image: P02433.jpg
GT: gun
gun Detection preview by Box_v11_medium_train_SIXray_OPIXray No objects detected Detection preview by DN_Medium_300_yolov8m_20t7_new gun Detection preview by Segmentatation_v8_medium_train_250 gun Detection preview by Segmentation_V11_large_300_train_300 gun Detection preview by Segmentation_v8_large_300_train_300
Original Image: P02434.jpg
GT: gun
gun Detection preview by Box_v11_medium_train_SIXray_OPIXray No objects detected Detection preview by DN_Medium_300_yolov8m_20t7_new gun Detection preview by Segmentatation_v8_medium_train_250 gun Detection preview by Segmentation_V11_large_300_train_300 gun Detection preview by Segmentation_v8_large_300_train_300
Original Image: P02435.jpg
GT: gun
gun Detection preview by Box_v11_medium_train_SIXray_OPIXray No objects detected Detection preview by DN_Medium_300_yolov8m_20t7_new gun Detection preview by Segmentatation_v8_medium_train_250 gun Detection preview by Segmentation_V11_large_300_train_300 gun Detection preview by Segmentation_v8_large_300_train_300
Original Image: P02436.jpg
GT: gun
gun Detection preview by Box_v11_medium_train_SIXray_OPIXray No objects detected Detection preview by DN_Medium_300_yolov8m_20t7_new gun Detection preview by Segmentatation_v8_medium_train_250 gun Detection preview by Segmentation_V11_large_300_train_300 gun Detection preview by Segmentation_v8_large_300_train_300
Original Image: P02437.jpg
GT: gun
gun Detection preview by Box_v11_medium_train_SIXray_OPIXray gun Detection preview by DN_Medium_300_yolov8m_20t7_new gun Detection preview by Segmentatation_v8_medium_train_250 gun Detection preview by Segmentation_V11_large_300_train_300 gun Detection preview by Segmentation_v8_large_300_train_300
Original Image: P02438.jpg
GT: gun
gun Detection preview by Box_v11_medium_train_SIXray_OPIXray No objects detected Detection preview by DN_Medium_300_yolov8m_20t7_new gun Detection preview by Segmentatation_v8_medium_train_250 gun Detection preview by Segmentation_V11_large_300_train_300 gun Detection preview by Segmentation_v8_large_300_train_300
Original Image: P02439.jpg
GT: gun
gun Detection preview by Box_v11_medium_train_SIXray_OPIXray No objects detected Detection preview by DN_Medium_300_yolov8m_20t7_new gun Detection preview by Segmentatation_v8_medium_train_250 gun Detection preview by Segmentation_V11_large_300_train_300 gun Detection preview by Segmentation_v8_large_300_train_300
Original Image: P02440.jpg
GT: gun
gun Detection preview by Box_v11_medium_train_SIXray_OPIXray gun Detection preview by DN_Medium_300_yolov8m_20t7_new gun Detection preview by Segmentatation_v8_medium_train_250 gun Detection preview by Segmentation_V11_large_300_train_300 gun Detection preview by Segmentation_v8_large_300_train_300
Original Image: P02441.jpg
GT: gun
gun Detection preview by Box_v11_medium_train_SIXray_OPIXray No objects detected Detection preview by DN_Medium_300_yolov8m_20t7_new gun Detection preview by Segmentatation_v8_medium_train_250 gun Detection preview by Segmentation_V11_large_300_train_300 gun Detection preview by Segmentation_v8_large_300_train_300
Original Image: P02442.jpg
GT: gun
gun Detection preview by Box_v11_medium_train_SIXray_OPIXray No objects detected Detection preview by DN_Medium_300_yolov8m_20t7_new gun Detection preview by Segmentatation_v8_medium_train_250 gun Detection preview by Segmentation_V11_large_300_train_300 gun Detection preview by Segmentation_v8_large_300_train_300
Original Image: P02443.jpg
GT: knife
knife Detection preview by Box_v11_medium_train_SIXray_OPIXray No objects detected Detection preview by DN_Medium_300_yolov8m_20t7_new knife Detection preview by Segmentatation_v8_medium_train_250 knife Detection preview by Segmentation_V11_large_300_train_300 knife Detection preview by Segmentation_v8_large_300_train_300
Original Image: P02444.jpg
GT: gun
gun Detection preview by Box_v11_medium_train_SIXray_OPIXray gun Detection preview by DN_Medium_300_yolov8m_20t7_new gun Detection preview by Segmentatation_v8_medium_train_250 gun Detection preview by Segmentation_V11_large_300_train_300 gun Detection preview by Segmentation_v8_large_300_train_300
Original Image: P02445.jpg
GT: gun
gun Detection preview by Box_v11_medium_train_SIXray_OPIXray No objects detected Detection preview by DN_Medium_300_yolov8m_20t7_new gun Detection preview by Segmentatation_v8_medium_train_250 gun Detection preview by Segmentation_V11_large_300_train_300 gun Detection preview by Segmentation_v8_large_300_train_300
Original Image: P02446.jpg
GT: gun
gun Detection preview by Box_v11_medium_train_SIXray_OPIXray No objects detected Detection preview by DN_Medium_300_yolov8m_20t7_new gun Detection preview by Segmentatation_v8_medium_train_250 gun Detection preview by Segmentation_V11_large_300_train_300 gun Detection preview by Segmentation_v8_large_300_train_300
Original Image: P02447.jpg
GT: knife
knife Detection preview by Box_v11_medium_train_SIXray_OPIXray No objects detected Detection preview by DN_Medium_300_yolov8m_20t7_new knife Detection preview by Segmentatation_v8_medium_train_250 knife Detection preview by Segmentation_V11_large_300_train_300 knife Detection preview by Segmentation_v8_large_300_train_300
Original Image: P02448.jpg
GT: knife
knife Detection preview by Box_v11_medium_train_SIXray_OPIXray No objects detected Detection preview by DN_Medium_300_yolov8m_20t7_new knife Detection preview by Segmentatation_v8_medium_train_250 knife Detection preview by Segmentation_V11_large_300_train_300 knife Detection preview by Segmentation_v8_large_300_train_300
Original Image: P02449.jpg
GT: knife
knife Detection preview by Box_v11_medium_train_SIXray_OPIXray No objects detected Detection preview by DN_Medium_300_yolov8m_20t7_new knife Detection preview by Segmentatation_v8_medium_train_250 knife Detection preview by Segmentation_V11_large_300_train_300 knife Detection preview by Segmentation_v8_large_300_train_300
Original Image: P02450.jpg
GT: knife
knife Detection preview by Box_v11_medium_train_SIXray_OPIXray No objects detected Detection preview by DN_Medium_300_yolov8m_20t7_new knife Detection preview by Segmentatation_v8_medium_train_250 knife Detection preview by Segmentation_V11_large_300_train_300 knife Detection preview by Segmentation_v8_large_300_train_300
Original Image: P02451.jpg
GT: knife
knife Detection preview by Box_v11_medium_train_SIXray_OPIXray No objects detected Detection preview by DN_Medium_300_yolov8m_20t7_new knife Detection preview by Segmentatation_v8_medium_train_250 knife Detection preview by Segmentation_V11_large_300_train_300 knife Detection preview by Segmentation_v8_large_300_train_300
Original Image: P02452.jpg
GT: gun
gun Detection preview by Box_v11_medium_train_SIXray_OPIXray No objects detected Detection preview by DN_Medium_300_yolov8m_20t7_new gun Detection preview by Segmentatation_v8_medium_train_250 gun Detection preview by Segmentation_V11_large_300_train_300 gun Detection preview by Segmentation_v8_large_300_train_300
Original Image: P02453.jpg
GT: gun
gun Detection preview by Box_v11_medium_train_SIXray_OPIXray No objects detected Detection preview by DN_Medium_300_yolov8m_20t7_new gun Detection preview by Segmentatation_v8_medium_train_250 gun Detection preview by Segmentation_V11_large_300_train_300 gun Detection preview by Segmentation_v8_large_300_train_300
Original Image: P02454.jpg
GT: gun
gun Detection preview by Box_v11_medium_train_SIXray_OPIXray No objects detected Detection preview by DN_Medium_300_yolov8m_20t7_new gun Detection preview by Segmentatation_v8_medium_train_250 gun Detection preview by Segmentation_V11_large_300_train_300 gun Detection preview by Segmentation_v8_large_300_train_300
Original Image: P02455.jpg
GT: gun
gun Detection preview by Box_v11_medium_train_SIXray_OPIXray No objects detected Detection preview by DN_Medium_300_yolov8m_20t7_new gun Detection preview by Segmentatation_v8_medium_train_250 gun Detection preview by Segmentation_V11_large_300_train_300 gun Detection preview by Segmentation_v8_large_300_train_300
Original Image: P02456.jpg
GT: gun
gun Detection preview by Box_v11_medium_train_SIXray_OPIXray No objects detected Detection preview by DN_Medium_300_yolov8m_20t7_new gun Detection preview by Segmentatation_v8_medium_train_250 gun Detection preview by Segmentation_V11_large_300_train_300 gun Detection preview by Segmentation_v8_large_300_train_300
Original Image: P02457.jpg
GT: gun
gun Detection preview by Box_v11_medium_train_SIXray_OPIXray gun Detection preview by DN_Medium_300_yolov8m_20t7_new gun Detection preview by Segmentatation_v8_medium_train_250 gun Detection preview by Segmentation_V11_large_300_train_300 gun Detection preview by Segmentation_v8_large_300_train_300
Original Image: P02458.jpg
GT: gun
gun Detection preview by Box_v11_medium_train_SIXray_OPIXray No objects detected Detection preview by DN_Medium_300_yolov8m_20t7_new gun Detection preview by Segmentatation_v8_medium_train_250 gun Detection preview by Segmentation_V11_large_300_train_300 gun Detection preview by Segmentation_v8_large_300_train_300
Original Image: P02459.jpg
GT: gun
gun Detection preview by Box_v11_medium_train_SIXray_OPIXray No objects detected Detection preview by DN_Medium_300_yolov8m_20t7_new gun Detection preview by Segmentatation_v8_medium_train_250 gun Detection preview by Segmentation_V11_large_300_train_300 gun Detection preview by Segmentation_v8_large_300_train_300
Original Image: P02460.jpg
GT: knife
knife Detection preview by Box_v11_medium_train_SIXray_OPIXray No objects detected Detection preview by DN_Medium_300_yolov8m_20t7_new knife Detection preview by Segmentatation_v8_medium_train_250 knife Detection preview by Segmentation_V11_large_300_train_300 knife Detection preview by Segmentation_v8_large_300_train_300
Original Image: P02461.jpg
GT: knife
knife Detection preview by Box_v11_medium_train_SIXray_OPIXray No objects detected Detection preview by DN_Medium_300_yolov8m_20t7_new knife Detection preview by Segmentatation_v8_medium_train_250 knife Detection preview by Segmentation_V11_large_300_train_300 knife Detection preview by Segmentation_v8_large_300_train_300
Original Image: P02462.jpg
GT: gun
gun Detection preview by Box_v11_medium_train_SIXray_OPIXray gun Detection preview by DN_Medium_300_yolov8m_20t7_new gun Detection preview by Segmentatation_v8_medium_train_250 gun Detection preview by Segmentation_V11_large_300_train_300 gun Detection preview by Segmentation_v8_large_300_train_300
Original Image: P02463.jpg
GT: gun
gun Detection preview by Box_v11_medium_train_SIXray_OPIXray gun Detection preview by DN_Medium_300_yolov8m_20t7_new gun Detection preview by Segmentatation_v8_medium_train_250 gun Detection preview by Segmentation_V11_large_300_train_300 gun Detection preview by Segmentation_v8_large_300_train_300
Original Image: P02464.jpg
GT: gun
gun Detection preview by Box_v11_medium_train_SIXray_OPIXray No objects detected Detection preview by DN_Medium_300_yolov8m_20t7_new gun Detection preview by Segmentatation_v8_medium_train_250 gun Detection preview by Segmentation_V11_large_300_train_300 gun Detection preview by Segmentation_v8_large_300_train_300
Original Image: P02465.jpg
GT: gun
gun Detection preview by Box_v11_medium_train_SIXray_OPIXray gun Detection preview by DN_Medium_300_yolov8m_20t7_new gun Detection preview by Segmentatation_v8_medium_train_250 gun Detection preview by Segmentation_V11_large_300_train_300 gun Detection preview by Segmentation_v8_large_300_train_300
Original Image: P02466.jpg
GT: gun
gun Detection preview by Box_v11_medium_train_SIXray_OPIXray No objects detected Detection preview by DN_Medium_300_yolov8m_20t7_new gun Detection preview by Segmentatation_v8_medium_train_250 gun Detection preview by Segmentation_V11_large_300_train_300 gun Detection preview by Segmentation_v8_large_300_train_300
Original Image: P02467.jpg
GT: gun
gun Detection preview by Box_v11_medium_train_SIXray_OPIXray No objects detected Detection preview by DN_Medium_300_yolov8m_20t7_new gun Detection preview by Segmentatation_v8_medium_train_250 gun Detection preview by Segmentation_V11_large_300_train_300 gun Detection preview by Segmentation_v8_large_300_train_300
Original Image: P02468.jpg
GT: gun
gun Detection preview by Box_v11_medium_train_SIXray_OPIXray No objects detected Detection preview by DN_Medium_300_yolov8m_20t7_new gun Detection preview by Segmentatation_v8_medium_train_250 gun Detection preview by Segmentation_V11_large_300_train_300 gun Detection preview by Segmentation_v8_large_300_train_300
Original Image: P02469.jpg
GT: gun
gun Detection preview by Box_v11_medium_train_SIXray_OPIXray No objects detected Detection preview by DN_Medium_300_yolov8m_20t7_new gun Detection preview by Segmentatation_v8_medium_train_250 gun Detection preview by Segmentation_V11_large_300_train_300 gun Detection preview by Segmentation_v8_large_300_train_300
Original Image: P02470.jpg
GT: gun
gun Detection preview by Box_v11_medium_train_SIXray_OPIXray gun Detection preview by DN_Medium_300_yolov8m_20t7_new gun Detection preview by Segmentatation_v8_medium_train_250 gun Detection preview by Segmentation_V11_large_300_train_300 gun Detection preview by Segmentation_v8_large_300_train_300
Original Image: P02471.jpg
GT: gun
gun Detection preview by Box_v11_medium_train_SIXray_OPIXray No objects detected Detection preview by DN_Medium_300_yolov8m_20t7_new gun Detection preview by Segmentatation_v8_medium_train_250 gun Detection preview by Segmentation_V11_large_300_train_300 gun Detection preview by Segmentation_v8_large_300_train_300
Original Image: P02472.jpg
GT: gun
gun Detection preview by Box_v11_medium_train_SIXray_OPIXray No objects detected Detection preview by DN_Medium_300_yolov8m_20t7_new gun Detection preview by Segmentatation_v8_medium_train_250 gun Detection preview by Segmentation_V11_large_300_train_300 gun Detection preview by Segmentation_v8_large_300_train_300
Original Image: P02473.jpg
GT: gun
gun Detection preview by Box_v11_medium_train_SIXray_OPIXray No objects detected Detection preview by DN_Medium_300_yolov8m_20t7_new gun Detection preview by Segmentatation_v8_medium_train_250 gun Detection preview by Segmentation_V11_large_300_train_300 gun Detection preview by Segmentation_v8_large_300_train_300
Original Image: P02474.jpg
GT: gun
gun Detection preview by Box_v11_medium_train_SIXray_OPIXray gun Detection preview by DN_Medium_300_yolov8m_20t7_new gun Detection preview by Segmentatation_v8_medium_train_250 gun Detection preview by Segmentation_V11_large_300_train_300 gun Detection preview by Segmentation_v8_large_300_train_300
Original Image: P02475.jpg
GT: gun
gun Detection preview by Box_v11_medium_train_SIXray_OPIXray No objects detected Detection preview by DN_Medium_300_yolov8m_20t7_new gun Detection preview by Segmentatation_v8_medium_train_250 gun Detection preview by Segmentation_V11_large_300_train_300 gun Detection preview by Segmentation_v8_large_300_train_300
Original Image: P02476.jpg
GT: gun
gun Detection preview by Box_v11_medium_train_SIXray_OPIXray gun Detection preview by DN_Medium_300_yolov8m_20t7_new gun Detection preview by Segmentatation_v8_medium_train_250 gun Detection preview by Segmentation_V11_large_300_train_300 gun Detection preview by Segmentation_v8_large_300_train_300
Original Image: P02477.jpg
GT: gun
gun Detection preview by Box_v11_medium_train_SIXray_OPIXray gun Detection preview by DN_Medium_300_yolov8m_20t7_new gun Detection preview by Segmentatation_v8_medium_train_250 gun Detection preview by Segmentation_V11_large_300_train_300 gun Detection preview by Segmentation_v8_large_300_train_300
Original Image: P02478.jpg
GT: gun
gun Detection preview by Box_v11_medium_train_SIXray_OPIXray No objects detected Detection preview by DN_Medium_300_yolov8m_20t7_new gun Detection preview by Segmentatation_v8_medium_train_250 gun Detection preview by Segmentation_V11_large_300_train_300 gun Detection preview by Segmentation_v8_large_300_train_300
Original Image: P02479.jpg
GT: gun
gun Detection preview by Box_v11_medium_train_SIXray_OPIXray gun Detection preview by DN_Medium_300_yolov8m_20t7_new gun Detection preview by Segmentatation_v8_medium_train_250 gun Detection preview by Segmentation_V11_large_300_train_300 gun Detection preview by Segmentation_v8_large_300_train_300
Original Image: P02480.jpg
GT: gun
gun Detection preview by Box_v11_medium_train_SIXray_OPIXray No objects detected Detection preview by DN_Medium_300_yolov8m_20t7_new gun Detection preview by Segmentatation_v8_medium_train_250 gun Detection preview by Segmentation_V11_large_300_train_300 gun Detection preview by Segmentation_v8_large_300_train_300
Original Image: P02481.jpg
GT: gun
gun Detection preview by Box_v11_medium_train_SIXray_OPIXray No objects detected Detection preview by DN_Medium_300_yolov8m_20t7_new gun Detection preview by Segmentatation_v8_medium_train_250 gun Detection preview by Segmentation_V11_large_300_train_300 gun Detection preview by Segmentation_v8_large_300_train_300
Original Image: P02482.jpg
GT: gun
gun Detection preview by Box_v11_medium_train_SIXray_OPIXray No objects detected Detection preview by DN_Medium_300_yolov8m_20t7_new gun Detection preview by Segmentatation_v8_medium_train_250 gun Detection preview by Segmentation_V11_large_300_train_300 gun Detection preview by Segmentation_v8_large_300_train_300
Original Image: P02483.jpg
GT: gun, knife
gun, knife Detection preview by Box_v11_medium_train_SIXray_OPIXray gun Detection preview by DN_Medium_300_yolov8m_20t7_new gun, knife Detection preview by Segmentatation_v8_medium_train_250 gun, knife Detection preview by Segmentation_V11_large_300_train_300 gun, knife Detection preview by Segmentation_v8_large_300_train_300
Original Image: P02484.jpg
GT: gun
gun Detection preview by Box_v11_medium_train_SIXray_OPIXray No objects detected Detection preview by DN_Medium_300_yolov8m_20t7_new gun Detection preview by Segmentatation_v8_medium_train_250 gun Detection preview by Segmentation_V11_large_300_train_300 gun Detection preview by Segmentation_v8_large_300_train_300
Original Image: P02485.jpg
GT: gun
gun Detection preview by Box_v11_medium_train_SIXray_OPIXray No objects detected Detection preview by DN_Medium_300_yolov8m_20t7_new gun Detection preview by Segmentatation_v8_medium_train_250 gun Detection preview by Segmentation_V11_large_300_train_300 gun Detection preview by Segmentation_v8_large_300_train_300
Original Image: P02486.jpg
GT: gun, knife
gun, knife Detection preview by Box_v11_medium_train_SIXray_OPIXray gun Detection preview by DN_Medium_300_yolov8m_20t7_new gun, knife Detection preview by Segmentatation_v8_medium_train_250 gun, knife Detection preview by Segmentation_V11_large_300_train_300 gun, knife Detection preview by Segmentation_v8_large_300_train_300
Original Image: P02487.jpg
GT: gun
gun Detection preview by Box_v11_medium_train_SIXray_OPIXray gun Detection preview by DN_Medium_300_yolov8m_20t7_new gun Detection preview by Segmentatation_v8_medium_train_250 gun Detection preview by Segmentation_V11_large_300_train_300 gun Detection preview by Segmentation_v8_large_300_train_300
Original Image: P02488.jpg
GT: gun
gun Detection preview by Box_v11_medium_train_SIXray_OPIXray No objects detected Detection preview by DN_Medium_300_yolov8m_20t7_new gun Detection preview by Segmentatation_v8_medium_train_250 gun Detection preview by Segmentation_V11_large_300_train_300 gun Detection preview by Segmentation_v8_large_300_train_300
Original Image: P02489.jpg
GT: gun
gun Detection preview by Box_v11_medium_train_SIXray_OPIXray No objects detected Detection preview by DN_Medium_300_yolov8m_20t7_new gun Detection preview by Segmentatation_v8_medium_train_250 gun Detection preview by Segmentation_V11_large_300_train_300 gun Detection preview by Segmentation_v8_large_300_train_300
Original Image: P02490.jpg
GT: gun, knife
gun, knife Detection preview by Box_v11_medium_train_SIXray_OPIXray gun Detection preview by DN_Medium_300_yolov8m_20t7_new gun, knife Detection preview by Segmentatation_v8_medium_train_250 gun, knife Detection preview by Segmentation_V11_large_300_train_300 gun, knife Detection preview by Segmentation_v8_large_300_train_300
Original Image: P02491.jpg
GT: gun
gun Detection preview by Box_v11_medium_train_SIXray_OPIXray No objects detected Detection preview by DN_Medium_300_yolov8m_20t7_new gun Detection preview by Segmentatation_v8_medium_train_250 gun Detection preview by Segmentation_V11_large_300_train_300 gun Detection preview by Segmentation_v8_large_300_train_300
Original Image: P02492.jpg
GT: gun, knife
gun, knife Detection preview by Box_v11_medium_train_SIXray_OPIXray No objects detected Detection preview by DN_Medium_300_yolov8m_20t7_new gun, knife Detection preview by Segmentatation_v8_medium_train_250 gun, knife Detection preview by Segmentation_V11_large_300_train_300 gun, knife Detection preview by Segmentation_v8_large_300_train_300
Original Image: P02493.jpg
GT: gun
gun Detection preview by Box_v11_medium_train_SIXray_OPIXray No objects detected Detection preview by DN_Medium_300_yolov8m_20t7_new gun Detection preview by Segmentatation_v8_medium_train_250 gun Detection preview by Segmentation_V11_large_300_train_300 gun Detection preview by Segmentation_v8_large_300_train_300
Original Image: P02494.jpg
GT: gun, knife
gun, knife Detection preview by Box_v11_medium_train_SIXray_OPIXray No objects detected Detection preview by DN_Medium_300_yolov8m_20t7_new gun, knife Detection preview by Segmentatation_v8_medium_train_250 gun, knife Detection preview by Segmentation_V11_large_300_train_300 gun, knife Detection preview by Segmentation_v8_large_300_train_300
Original Image: P02495.jpg
GT: gun
gun Detection preview by Box_v11_medium_train_SIXray_OPIXray No objects detected Detection preview by DN_Medium_300_yolov8m_20t7_new gun Detection preview by Segmentatation_v8_medium_train_250 gun Detection preview by Segmentation_V11_large_300_train_300 gun Detection preview by Segmentation_v8_large_300_train_300
Original Image: P02496.jpg
GT: gun
gun Detection preview by Box_v11_medium_train_SIXray_OPIXray No objects detected Detection preview by DN_Medium_300_yolov8m_20t7_new gun Detection preview by Segmentatation_v8_medium_train_250 gun Detection preview by Segmentation_V11_large_300_train_300 gun Detection preview by Segmentation_v8_large_300_train_300
Original Image: P02497.jpg
GT: gun
gun Detection preview by Box_v11_medium_train_SIXray_OPIXray No objects detected Detection preview by DN_Medium_300_yolov8m_20t7_new gun Detection preview by Segmentatation_v8_medium_train_250 gun Detection preview by Segmentation_V11_large_300_train_300 gun Detection preview by Segmentation_v8_large_300_train_300
Original Image: P02498.jpg
GT: gun, knife
gun, knife Detection preview by Box_v11_medium_train_SIXray_OPIXray No objects detected Detection preview by DN_Medium_300_yolov8m_20t7_new gun, knife Detection preview by Segmentatation_v8_medium_train_250 gun, knife Detection preview by Segmentation_V11_large_300_train_300 gun, knife Detection preview by Segmentation_v8_large_300_train_300
Original Image: P02499.jpg
GT: gun
gun Detection preview by Box_v11_medium_train_SIXray_OPIXray No objects detected Detection preview by DN_Medium_300_yolov8m_20t7_new gun Detection preview by Segmentatation_v8_medium_train_250 gun Detection preview by Segmentation_V11_large_300_train_300 gun Detection preview by Segmentation_v8_large_300_train_300
Original Image: P02500.jpg
GT: gun
gun Detection preview by Box_v11_medium_train_SIXray_OPIXray No objects detected Detection preview by DN_Medium_300_yolov8m_20t7_new gun Detection preview by Segmentatation_v8_medium_train_250 gun Detection preview by Segmentation_V11_large_300_train_300 gun Detection preview by Segmentation_v8_large_300_train_300
Original Image: P02501.jpg
GT: gun
gun Detection preview by Box_v11_medium_train_SIXray_OPIXray No objects detected Detection preview by DN_Medium_300_yolov8m_20t7_new gun Detection preview by Segmentatation_v8_medium_train_250 gun Detection preview by Segmentation_V11_large_300_train_300 gun Detection preview by Segmentation_v8_large_300_train_300
Original Image: P02502.jpg
GT: gun
gun Detection preview by Box_v11_medium_train_SIXray_OPIXray No objects detected Detection preview by DN_Medium_300_yolov8m_20t7_new gun Detection preview by Segmentatation_v8_medium_train_250 gun Detection preview by Segmentation_V11_large_300_train_300 gun Detection preview by Segmentation_v8_large_300_train_300
Original Image: P02503.jpg
GT: knife
knife Detection preview by Box_v11_medium_train_SIXray_OPIXray No objects detected Detection preview by DN_Medium_300_yolov8m_20t7_new knife Detection preview by Segmentatation_v8_medium_train_250 knife Detection preview by Segmentation_V11_large_300_train_300 knife Detection preview by Segmentation_v8_large_300_train_300
Original Image: P02504.jpg
GT: gun
gun Detection preview by Box_v11_medium_train_SIXray_OPIXray No objects detected Detection preview by DN_Medium_300_yolov8m_20t7_new gun Detection preview by Segmentatation_v8_medium_train_250 gun Detection preview by Segmentation_V11_large_300_train_300 gun Detection preview by Segmentation_v8_large_300_train_300
Original Image: P02505.jpg
GT: gun
gun Detection preview by Box_v11_medium_train_SIXray_OPIXray gun Detection preview by DN_Medium_300_yolov8m_20t7_new gun Detection preview by Segmentatation_v8_medium_train_250 gun Detection preview by Segmentation_V11_large_300_train_300 gun Detection preview by Segmentation_v8_large_300_train_300
Original Image: P02506.jpg
GT: gun
gun Detection preview by Box_v11_medium_train_SIXray_OPIXray No objects detected Detection preview by DN_Medium_300_yolov8m_20t7_new gun Detection preview by Segmentatation_v8_medium_train_250 gun Detection preview by Segmentation_V11_large_300_train_300 gun Detection preview by Segmentation_v8_large_300_train_300
Original Image: P02507.jpg
GT: gun, knife
gun, knife Detection preview by Box_v11_medium_train_SIXray_OPIXray No objects detected Detection preview by DN_Medium_300_yolov8m_20t7_new gun, knife Detection preview by Segmentatation_v8_medium_train_250 gun, knife Detection preview by Segmentation_V11_large_300_train_300 gun, knife Detection preview by Segmentation_v8_large_300_train_300
Original Image: P02508.jpg
GT: gun
gun Detection preview by Box_v11_medium_train_SIXray_OPIXray No objects detected Detection preview by DN_Medium_300_yolov8m_20t7_new gun Detection preview by Segmentatation_v8_medium_train_250 gun Detection preview by Segmentation_V11_large_300_train_300 gun Detection preview by Segmentation_v8_large_300_train_300
Original Image: P02509.jpg
GT: gun, knife
gun, knife Detection preview by Box_v11_medium_train_SIXray_OPIXray No objects detected Detection preview by DN_Medium_300_yolov8m_20t7_new gun, knife Detection preview by Segmentatation_v8_medium_train_250 gun, knife Detection preview by Segmentation_V11_large_300_train_300 gun, knife Detection preview by Segmentation_v8_large_300_train_300
Original Image: P02510.jpg
GT: gun
gun Detection preview by Box_v11_medium_train_SIXray_OPIXray No objects detected Detection preview by DN_Medium_300_yolov8m_20t7_new gun Detection preview by Segmentatation_v8_medium_train_250 gun, knife Detection preview by Segmentation_V11_large_300_train_300 gun, knife, scissor Detection preview by Segmentation_v8_large_300_train_300
Original Image: P02511.jpg
GT: gun
gun Detection preview by Box_v11_medium_train_SIXray_OPIXray No objects detected Detection preview by DN_Medium_300_yolov8m_20t7_new gun Detection preview by Segmentatation_v8_medium_train_250 gun Detection preview by Segmentation_V11_large_300_train_300 gun Detection preview by Segmentation_v8_large_300_train_300
Original Image: P02512.jpg
GT: gun
gun Detection preview by Box_v11_medium_train_SIXray_OPIXray No objects detected Detection preview by DN_Medium_300_yolov8m_20t7_new gun Detection preview by Segmentatation_v8_medium_train_250 gun Detection preview by Segmentation_V11_large_300_train_300 gun Detection preview by Segmentation_v8_large_300_train_300
Original Image: P02513.jpg
GT: knife
knife Detection preview by Box_v11_medium_train_SIXray_OPIXray No objects detected Detection preview by DN_Medium_300_yolov8m_20t7_new knife Detection preview by Segmentatation_v8_medium_train_250 knife Detection preview by Segmentation_V11_large_300_train_300 knife Detection preview by Segmentation_v8_large_300_train_300
Original Image: P02514.jpg
GT: gun
gun Detection preview by Box_v11_medium_train_SIXray_OPIXray No objects detected Detection preview by DN_Medium_300_yolov8m_20t7_new gun Detection preview by Segmentatation_v8_medium_train_250 gun Detection preview by Segmentation_V11_large_300_train_300 gun Detection preview by Segmentation_v8_large_300_train_300
Original Image: P02515.jpg
GT: gun
gun Detection preview by Box_v11_medium_train_SIXray_OPIXray No objects detected Detection preview by DN_Medium_300_yolov8m_20t7_new gun Detection preview by Segmentatation_v8_medium_train_250 gun Detection preview by Segmentation_V11_large_300_train_300 gun Detection preview by Segmentation_v8_large_300_train_300
Original Image: P02516.jpg
GT: gun
gun Detection preview by Box_v11_medium_train_SIXray_OPIXray gun Detection preview by DN_Medium_300_yolov8m_20t7_new gun Detection preview by Segmentatation_v8_medium_train_250 gun Detection preview by Segmentation_V11_large_300_train_300 gun Detection preview by Segmentation_v8_large_300_train_300
Original Image: P02517.jpg
GT: gun
gun Detection preview by Box_v11_medium_train_SIXray_OPIXray No objects detected Detection preview by DN_Medium_300_yolov8m_20t7_new gun Detection preview by Segmentatation_v8_medium_train_250 gun Detection preview by Segmentation_V11_large_300_train_300 gun Detection preview by Segmentation_v8_large_300_train_300
Original Image: P02518.jpg
GT: gun
gun Detection preview by Box_v11_medium_train_SIXray_OPIXray No objects detected Detection preview by DN_Medium_300_yolov8m_20t7_new gun Detection preview by Segmentatation_v8_medium_train_250 gun Detection preview by Segmentation_V11_large_300_train_300 gun Detection preview by Segmentation_v8_large_300_train_300
Original Image: P02519.jpg
GT: gun
gun Detection preview by Box_v11_medium_train_SIXray_OPIXray No objects detected Detection preview by DN_Medium_300_yolov8m_20t7_new gun Detection preview by Segmentatation_v8_medium_train_250 gun Detection preview by Segmentation_V11_large_300_train_300 gun Detection preview by Segmentation_v8_large_300_train_300
Original Image: P02520.jpg
GT: gun
gun Detection preview by Box_v11_medium_train_SIXray_OPIXray No objects detected Detection preview by DN_Medium_300_yolov8m_20t7_new gun Detection preview by Segmentatation_v8_medium_train_250 gun Detection preview by Segmentation_V11_large_300_train_300 gun Detection preview by Segmentation_v8_large_300_train_300
Original Image: P02521.jpg
GT: gun
gun Detection preview by Box_v11_medium_train_SIXray_OPIXray gun Detection preview by DN_Medium_300_yolov8m_20t7_new gun Detection preview by Segmentatation_v8_medium_train_250 gun Detection preview by Segmentation_V11_large_300_train_300 gun Detection preview by Segmentation_v8_large_300_train_300
Original Image: P02522.jpg
GT: gun
gun Detection preview by Box_v11_medium_train_SIXray_OPIXray No objects detected Detection preview by DN_Medium_300_yolov8m_20t7_new gun Detection preview by Segmentatation_v8_medium_train_250 gun Detection preview by Segmentation_V11_large_300_train_300 gun Detection preview by Segmentation_v8_large_300_train_300
Original Image: P02523.jpg
GT: gun
gun Detection preview by Box_v11_medium_train_SIXray_OPIXray No objects detected Detection preview by DN_Medium_300_yolov8m_20t7_new gun Detection preview by Segmentatation_v8_medium_train_250 gun Detection preview by Segmentation_V11_large_300_train_300 gun Detection preview by Segmentation_v8_large_300_train_300
Original Image: P02524.jpg
GT: gun
gun Detection preview by Box_v11_medium_train_SIXray_OPIXray No objects detected Detection preview by DN_Medium_300_yolov8m_20t7_new gun Detection preview by Segmentatation_v8_medium_train_250 gun Detection preview by Segmentation_V11_large_300_train_300 gun Detection preview by Segmentation_v8_large_300_train_300
Original Image: P02525.jpg
GT: gun
gun Detection preview by Box_v11_medium_train_SIXray_OPIXray No objects detected Detection preview by DN_Medium_300_yolov8m_20t7_new gun Detection preview by Segmentatation_v8_medium_train_250 gun Detection preview by Segmentation_V11_large_300_train_300 gun Detection preview by Segmentation_v8_large_300_train_300
Original Image: P02526.jpg
GT: knife
knife Detection preview by Box_v11_medium_train_SIXray_OPIXray No objects detected Detection preview by DN_Medium_300_yolov8m_20t7_new knife Detection preview by Segmentatation_v8_medium_train_250 knife Detection preview by Segmentation_V11_large_300_train_300 knife Detection preview by Segmentation_v8_large_300_train_300
Original Image: P02527.jpg
GT: gun, knife
gun, knife Detection preview by Box_v11_medium_train_SIXray_OPIXray No objects detected Detection preview by DN_Medium_300_yolov8m_20t7_new gun, knife Detection preview by Segmentatation_v8_medium_train_250 gun, knife Detection preview by Segmentation_V11_large_300_train_300 gun, knife Detection preview by Segmentation_v8_large_300_train_300
Original Image: P02528.jpg
GT: gun
gun Detection preview by Box_v11_medium_train_SIXray_OPIXray No objects detected Detection preview by DN_Medium_300_yolov8m_20t7_new gun Detection preview by Segmentatation_v8_medium_train_250 gun Detection preview by Segmentation_V11_large_300_train_300 gun Detection preview by Segmentation_v8_large_300_train_300
Original Image: P02529.jpg
GT: gun, knife
gun, knife Detection preview by Box_v11_medium_train_SIXray_OPIXray No objects detected Detection preview by DN_Medium_300_yolov8m_20t7_new gun, knife Detection preview by Segmentatation_v8_medium_train_250 gun, knife Detection preview by Segmentation_V11_large_300_train_300 gun, knife Detection preview by Segmentation_v8_large_300_train_300
Original Image: P02530.jpg
GT: gun, knife
gun, knife Detection preview by Box_v11_medium_train_SIXray_OPIXray No objects detected Detection preview by DN_Medium_300_yolov8m_20t7_new gun, knife Detection preview by Segmentatation_v8_medium_train_250 gun, knife Detection preview by Segmentation_V11_large_300_train_300 gun, knife Detection preview by Segmentation_v8_large_300_train_300
Original Image: P02531.jpg
GT: gun
gun Detection preview by Box_v11_medium_train_SIXray_OPIXray No objects detected Detection preview by DN_Medium_300_yolov8m_20t7_new gun Detection preview by Segmentatation_v8_medium_train_250 gun Detection preview by Segmentation_V11_large_300_train_300 gun Detection preview by Segmentation_v8_large_300_train_300
Original Image: P02532.jpg
GT: gun
gun Detection preview by Box_v11_medium_train_SIXray_OPIXray No objects detected Detection preview by DN_Medium_300_yolov8m_20t7_new gun Detection preview by Segmentatation_v8_medium_train_250 gun Detection preview by Segmentation_V11_large_300_train_300 gun Detection preview by Segmentation_v8_large_300_train_300
Original Image: P02533.jpg
GT: gun
gun Detection preview by Box_v11_medium_train_SIXray_OPIXray No objects detected Detection preview by DN_Medium_300_yolov8m_20t7_new gun Detection preview by Segmentatation_v8_medium_train_250 gun Detection preview by Segmentation_V11_large_300_train_300 gun Detection preview by Segmentation_v8_large_300_train_300
Original Image: P02534.jpg
GT: gun
gun Detection preview by Box_v11_medium_train_SIXray_OPIXray No objects detected Detection preview by DN_Medium_300_yolov8m_20t7_new gun Detection preview by Segmentatation_v8_medium_train_250 gun Detection preview by Segmentation_V11_large_300_train_300 gun Detection preview by Segmentation_v8_large_300_train_300
Original Image: P02535.jpg
GT: gun
gun Detection preview by Box_v11_medium_train_SIXray_OPIXray No objects detected Detection preview by DN_Medium_300_yolov8m_20t7_new gun Detection preview by Segmentatation_v8_medium_train_250 gun Detection preview by Segmentation_V11_large_300_train_300 gun Detection preview by Segmentation_v8_large_300_train_300
Original Image: P02536.jpg
GT: gun
gun Detection preview by Box_v11_medium_train_SIXray_OPIXray No objects detected Detection preview by DN_Medium_300_yolov8m_20t7_new gun Detection preview by Segmentatation_v8_medium_train_250 gun Detection preview by Segmentation_V11_large_300_train_300 gun Detection preview by Segmentation_v8_large_300_train_300
Original Image: P02537.jpg
GT: gun
gun Detection preview by Box_v11_medium_train_SIXray_OPIXray No objects detected Detection preview by DN_Medium_300_yolov8m_20t7_new gun Detection preview by Segmentatation_v8_medium_train_250 gun Detection preview by Segmentation_V11_large_300_train_300 gun Detection preview by Segmentation_v8_large_300_train_300
Original Image: P02538.jpg
GT: gun
gun Detection preview by Box_v11_medium_train_SIXray_OPIXray No objects detected Detection preview by DN_Medium_300_yolov8m_20t7_new gun Detection preview by Segmentatation_v8_medium_train_250 gun Detection preview by Segmentation_V11_large_300_train_300 gun Detection preview by Segmentation_v8_large_300_train_300
Original Image: P02539.jpg
GT: gun
gun Detection preview by Box_v11_medium_train_SIXray_OPIXray No objects detected Detection preview by DN_Medium_300_yolov8m_20t7_new gun Detection preview by Segmentatation_v8_medium_train_250 gun Detection preview by Segmentation_V11_large_300_train_300 gun Detection preview by Segmentation_v8_large_300_train_300
Original Image: P02540.jpg
GT: gun
gun Detection preview by Box_v11_medium_train_SIXray_OPIXray No objects detected Detection preview by DN_Medium_300_yolov8m_20t7_new gun Detection preview by Segmentatation_v8_medium_train_250 gun Detection preview by Segmentation_V11_large_300_train_300 gun Detection preview by Segmentation_v8_large_300_train_300
Original Image: P02541.jpg
GT: gun
gun Detection preview by Box_v11_medium_train_SIXray_OPIXray No objects detected Detection preview by DN_Medium_300_yolov8m_20t7_new gun Detection preview by Segmentatation_v8_medium_train_250 gun Detection preview by Segmentation_V11_large_300_train_300 gun Detection preview by Segmentation_v8_large_300_train_300
Original Image: P02542.jpg
GT: gun, knife
gun, knife Detection preview by Box_v11_medium_train_SIXray_OPIXray No objects detected Detection preview by DN_Medium_300_yolov8m_20t7_new gun, knife Detection preview by Segmentatation_v8_medium_train_250 gun, knife Detection preview by Segmentation_V11_large_300_train_300 gun, knife Detection preview by Segmentation_v8_large_300_train_300
Original Image: P02543.jpg
GT: knife
knife Detection preview by Box_v11_medium_train_SIXray_OPIXray No objects detected Detection preview by DN_Medium_300_yolov8m_20t7_new knife Detection preview by Segmentatation_v8_medium_train_250 knife Detection preview by Segmentation_V11_large_300_train_300 knife Detection preview by Segmentation_v8_large_300_train_300
Original Image: P02544.jpg
GT: gun, knife
gun, knife Detection preview by Box_v11_medium_train_SIXray_OPIXray No objects detected Detection preview by DN_Medium_300_yolov8m_20t7_new gun, knife Detection preview by Segmentatation_v8_medium_train_250 gun, knife Detection preview by Segmentation_V11_large_300_train_300 gun, knife Detection preview by Segmentation_v8_large_300_train_300
Original Image: P02545.jpg
GT: gun
gun Detection preview by Box_v11_medium_train_SIXray_OPIXray No objects detected Detection preview by DN_Medium_300_yolov8m_20t7_new gun Detection preview by Segmentatation_v8_medium_train_250 gun Detection preview by Segmentation_V11_large_300_train_300 gun Detection preview by Segmentation_v8_large_300_train_300
Original Image: P02546.jpg
GT: gun
gun Detection preview by Box_v11_medium_train_SIXray_OPIXray No objects detected Detection preview by DN_Medium_300_yolov8m_20t7_new gun Detection preview by Segmentatation_v8_medium_train_250 gun Detection preview by Segmentation_V11_large_300_train_300 gun Detection preview by Segmentation_v8_large_300_train_300
Original Image: P02547.jpg
GT: gun
gun Detection preview by Box_v11_medium_train_SIXray_OPIXray gun Detection preview by DN_Medium_300_yolov8m_20t7_new gun Detection preview by Segmentatation_v8_medium_train_250 gun Detection preview by Segmentation_V11_large_300_train_300 gun Detection preview by Segmentation_v8_large_300_train_300
Original Image: P02548.jpg
GT: knife
knife Detection preview by Box_v11_medium_train_SIXray_OPIXray No objects detected Detection preview by DN_Medium_300_yolov8m_20t7_new knife Detection preview by Segmentatation_v8_medium_train_250 knife Detection preview by Segmentation_V11_large_300_train_300 knife Detection preview by Segmentation_v8_large_300_train_300
Original Image: P02549.jpg
GT: gun
gun, knife Detection preview by Box_v11_medium_train_SIXray_OPIXray gun Detection preview by DN_Medium_300_yolov8m_20t7_new gun Detection preview by Segmentatation_v8_medium_train_250 gun, knife Detection preview by Segmentation_V11_large_300_train_300 gun, knife Detection preview by Segmentation_v8_large_300_train_300
Original Image: P02550.jpg
GT: gun
gun Detection preview by Box_v11_medium_train_SIXray_OPIXray No objects detected Detection preview by DN_Medium_300_yolov8m_20t7_new gun Detection preview by Segmentatation_v8_medium_train_250 gun Detection preview by Segmentation_V11_large_300_train_300 gun Detection preview by Segmentation_v8_large_300_train_300
Original Image: P02551.jpg
GT: knife
knife Detection preview by Box_v11_medium_train_SIXray_OPIXray No objects detected Detection preview by DN_Medium_300_yolov8m_20t7_new knife Detection preview by Segmentatation_v8_medium_train_250 knife Detection preview by Segmentation_V11_large_300_train_300 knife Detection preview by Segmentation_v8_large_300_train_300
Original Image: P02552.jpg
GT: gun
gun Detection preview by Box_v11_medium_train_SIXray_OPIXray No objects detected Detection preview by DN_Medium_300_yolov8m_20t7_new gun Detection preview by Segmentatation_v8_medium_train_250 gun Detection preview by Segmentation_V11_large_300_train_300 gun Detection preview by Segmentation_v8_large_300_train_300
Original Image: P02553.jpg
GT: gun
gun Detection preview by Box_v11_medium_train_SIXray_OPIXray No objects detected Detection preview by DN_Medium_300_yolov8m_20t7_new gun Detection preview by Segmentatation_v8_medium_train_250 gun Detection preview by Segmentation_V11_large_300_train_300 gun Detection preview by Segmentation_v8_large_300_train_300
Original Image: P02554.jpg
GT: knife
knife Detection preview by Box_v11_medium_train_SIXray_OPIXray No objects detected Detection preview by DN_Medium_300_yolov8m_20t7_new knife Detection preview by Segmentatation_v8_medium_train_250 knife Detection preview by Segmentation_V11_large_300_train_300 knife Detection preview by Segmentation_v8_large_300_train_300
Original Image: P02555.jpg
GT: gun
gun Detection preview by Box_v11_medium_train_SIXray_OPIXray gun Detection preview by DN_Medium_300_yolov8m_20t7_new gun Detection preview by Segmentatation_v8_medium_train_250 gun Detection preview by Segmentation_V11_large_300_train_300 gun Detection preview by Segmentation_v8_large_300_train_300
Original Image: P02556.jpg
GT: gun
gun Detection preview by Box_v11_medium_train_SIXray_OPIXray No objects detected Detection preview by DN_Medium_300_yolov8m_20t7_new gun Detection preview by Segmentatation_v8_medium_train_250 gun Detection preview by Segmentation_V11_large_300_train_300 gun Detection preview by Segmentation_v8_large_300_train_300
Original Image: P02557.jpg
GT: gun
gun Detection preview by Box_v11_medium_train_SIXray_OPIXray gun, wrench Detection preview by DN_Medium_300_yolov8m_20t7_new gun Detection preview by Segmentatation_v8_medium_train_250 gun Detection preview by Segmentation_V11_large_300_train_300 gun Detection preview by Segmentation_v8_large_300_train_300
Original Image: P02558.jpg
GT: gun
gun Detection preview by Box_v11_medium_train_SIXray_OPIXray No objects detected Detection preview by DN_Medium_300_yolov8m_20t7_new gun Detection preview by Segmentatation_v8_medium_train_250 gun Detection preview by Segmentation_V11_large_300_train_300 gun Detection preview by Segmentation_v8_large_300_train_300
Original Image: P02559.jpg
GT: gun
gun Detection preview by Box_v11_medium_train_SIXray_OPIXray No objects detected Detection preview by DN_Medium_300_yolov8m_20t7_new gun Detection preview by Segmentatation_v8_medium_train_250 gun Detection preview by Segmentation_V11_large_300_train_300 gun Detection preview by Segmentation_v8_large_300_train_300
Original Image: P02560.jpg
GT: gun
gun Detection preview by Box_v11_medium_train_SIXray_OPIXray No objects detected Detection preview by DN_Medium_300_yolov8m_20t7_new gun Detection preview by Segmentatation_v8_medium_train_250 gun Detection preview by Segmentation_V11_large_300_train_300 gun Detection preview by Segmentation_v8_large_300_train_300
Original Image: P02561.jpg
GT: gun
gun Detection preview by Box_v11_medium_train_SIXray_OPIXray gun Detection preview by DN_Medium_300_yolov8m_20t7_new gun Detection preview by Segmentatation_v8_medium_train_250 gun Detection preview by Segmentation_V11_large_300_train_300 gun Detection preview by Segmentation_v8_large_300_train_300
Original Image: P02562.jpg
GT: gun
gun Detection preview by Box_v11_medium_train_SIXray_OPIXray No objects detected Detection preview by DN_Medium_300_yolov8m_20t7_new gun Detection preview by Segmentatation_v8_medium_train_250 gun Detection preview by Segmentation_V11_large_300_train_300 gun Detection preview by Segmentation_v8_large_300_train_300
Original Image: P02563.jpg
GT: gun
gun Detection preview by Box_v11_medium_train_SIXray_OPIXray No objects detected Detection preview by DN_Medium_300_yolov8m_20t7_new gun Detection preview by Segmentatation_v8_medium_train_250 gun Detection preview by Segmentation_V11_large_300_train_300 gun Detection preview by Segmentation_v8_large_300_train_300
Original Image: P02564.jpg
GT: gun
gun Detection preview by Box_v11_medium_train_SIXray_OPIXray gun Detection preview by DN_Medium_300_yolov8m_20t7_new gun Detection preview by Segmentatation_v8_medium_train_250 gun Detection preview by Segmentation_V11_large_300_train_300 gun Detection preview by Segmentation_v8_large_300_train_300
Original Image: P02565.jpg
GT: knife
knife Detection preview by Box_v11_medium_train_SIXray_OPIXray No objects detected Detection preview by DN_Medium_300_yolov8m_20t7_new knife Detection preview by Segmentatation_v8_medium_train_250 knife Detection preview by Segmentation_V11_large_300_train_300 knife Detection preview by Segmentation_v8_large_300_train_300
Original Image: P02566.jpg
GT: gun
gun Detection preview by Box_v11_medium_train_SIXray_OPIXray No objects detected Detection preview by DN_Medium_300_yolov8m_20t7_new gun Detection preview by Segmentatation_v8_medium_train_250 gun Detection preview by Segmentation_V11_large_300_train_300 gun Detection preview by Segmentation_v8_large_300_train_300
Original Image: P02567.jpg
GT: gun
gun Detection preview by Box_v11_medium_train_SIXray_OPIXray No objects detected Detection preview by DN_Medium_300_yolov8m_20t7_new gun Detection preview by Segmentatation_v8_medium_train_250 gun Detection preview by Segmentation_V11_large_300_train_300 gun Detection preview by Segmentation_v8_large_300_train_300
Original Image: P02568.jpg
GT: gun
gun Detection preview by Box_v11_medium_train_SIXray_OPIXray No objects detected Detection preview by DN_Medium_300_yolov8m_20t7_new gun Detection preview by Segmentatation_v8_medium_train_250 gun Detection preview by Segmentation_V11_large_300_train_300 gun Detection preview by Segmentation_v8_large_300_train_300
Original Image: P02569.jpg
GT: gun
gun Detection preview by Box_v11_medium_train_SIXray_OPIXray No objects detected Detection preview by DN_Medium_300_yolov8m_20t7_new gun Detection preview by Segmentatation_v8_medium_train_250 gun Detection preview by Segmentation_V11_large_300_train_300 gun Detection preview by Segmentation_v8_large_300_train_300
Original Image: P02570.jpg
GT: gun
gun Detection preview by Box_v11_medium_train_SIXray_OPIXray No objects detected Detection preview by DN_Medium_300_yolov8m_20t7_new gun Detection preview by Segmentatation_v8_medium_train_250 gun Detection preview by Segmentation_V11_large_300_train_300 gun Detection preview by Segmentation_v8_large_300_train_300
Original Image: P02571.jpg
GT: gun
gun Detection preview by Box_v11_medium_train_SIXray_OPIXray No objects detected Detection preview by DN_Medium_300_yolov8m_20t7_new gun Detection preview by Segmentatation_v8_medium_train_250 gun Detection preview by Segmentation_V11_large_300_train_300 gun Detection preview by Segmentation_v8_large_300_train_300
Original Image: P02572.jpg
GT: gun
gun Detection preview by Box_v11_medium_train_SIXray_OPIXray No objects detected Detection preview by DN_Medium_300_yolov8m_20t7_new gun Detection preview by Segmentatation_v8_medium_train_250 gun Detection preview by Segmentation_V11_large_300_train_300 gun Detection preview by Segmentation_v8_large_300_train_300
Original Image: P02573.jpg
GT: gun
gun Detection preview by Box_v11_medium_train_SIXray_OPIXray No objects detected Detection preview by DN_Medium_300_yolov8m_20t7_new gun Detection preview by Segmentatation_v8_medium_train_250 gun Detection preview by Segmentation_V11_large_300_train_300 gun Detection preview by Segmentation_v8_large_300_train_300
Original Image: P02574.jpg
GT: gun
gun Detection preview by Box_v11_medium_train_SIXray_OPIXray No objects detected Detection preview by DN_Medium_300_yolov8m_20t7_new gun Detection preview by Segmentatation_v8_medium_train_250 gun Detection preview by Segmentation_V11_large_300_train_300 gun Detection preview by Segmentation_v8_large_300_train_300
Original Image: P02575.jpg
GT: gun
gun Detection preview by Box_v11_medium_train_SIXray_OPIXray No objects detected Detection preview by DN_Medium_300_yolov8m_20t7_new gun Detection preview by Segmentatation_v8_medium_train_250 gun Detection preview by Segmentation_V11_large_300_train_300 gun Detection preview by Segmentation_v8_large_300_train_300
Original Image: P02576.jpg
GT: knife
knife Detection preview by Box_v11_medium_train_SIXray_OPIXray No objects detected Detection preview by DN_Medium_300_yolov8m_20t7_new knife Detection preview by Segmentatation_v8_medium_train_250 knife Detection preview by Segmentation_V11_large_300_train_300 knife Detection preview by Segmentation_v8_large_300_train_300
Original Image: P02577.jpg
GT: gun
gun Detection preview by Box_v11_medium_train_SIXray_OPIXray No objects detected Detection preview by DN_Medium_300_yolov8m_20t7_new gun Detection preview by Segmentatation_v8_medium_train_250 gun Detection preview by Segmentation_V11_large_300_train_300 gun Detection preview by Segmentation_v8_large_300_train_300
Original Image: P02578.jpg
GT: knife
knife Detection preview by Box_v11_medium_train_SIXray_OPIXray No objects detected Detection preview by DN_Medium_300_yolov8m_20t7_new knife Detection preview by Segmentatation_v8_medium_train_250 knife Detection preview by Segmentation_V11_large_300_train_300 knife Detection preview by Segmentation_v8_large_300_train_300
Original Image: P02579.jpg
GT: gun
gun Detection preview by Box_v11_medium_train_SIXray_OPIXray No objects detected Detection preview by DN_Medium_300_yolov8m_20t7_new gun Detection preview by Segmentatation_v8_medium_train_250 gun Detection preview by Segmentation_V11_large_300_train_300 gun Detection preview by Segmentation_v8_large_300_train_300
Original Image: P02580.jpg
GT: gun
gun Detection preview by Box_v11_medium_train_SIXray_OPIXray No objects detected Detection preview by DN_Medium_300_yolov8m_20t7_new gun Detection preview by Segmentatation_v8_medium_train_250 gun Detection preview by Segmentation_V11_large_300_train_300 gun Detection preview by Segmentation_v8_large_300_train_300
Original Image: P02581.jpg
GT: gun
gun Detection preview by Box_v11_medium_train_SIXray_OPIXray No objects detected Detection preview by DN_Medium_300_yolov8m_20t7_new gun Detection preview by Segmentatation_v8_medium_train_250 gun Detection preview by Segmentation_V11_large_300_train_300 gun Detection preview by Segmentation_v8_large_300_train_300
Original Image: P02582.jpg
GT: gun
gun Detection preview by Box_v11_medium_train_SIXray_OPIXray No objects detected Detection preview by DN_Medium_300_yolov8m_20t7_new gun Detection preview by Segmentatation_v8_medium_train_250 gun Detection preview by Segmentation_V11_large_300_train_300 gun Detection preview by Segmentation_v8_large_300_train_300
Original Image: P02583.jpg
GT: gun
gun Detection preview by Box_v11_medium_train_SIXray_OPIXray No objects detected Detection preview by DN_Medium_300_yolov8m_20t7_new gun Detection preview by Segmentatation_v8_medium_train_250 gun Detection preview by Segmentation_V11_large_300_train_300 gun Detection preview by Segmentation_v8_large_300_train_300
Original Image: P02584.jpg
GT: gun
gun Detection preview by Box_v11_medium_train_SIXray_OPIXray gun Detection preview by DN_Medium_300_yolov8m_20t7_new gun Detection preview by Segmentatation_v8_medium_train_250 gun Detection preview by Segmentation_V11_large_300_train_300 gun Detection preview by Segmentation_v8_large_300_train_300
Original Image: P02585.jpg
GT: gun
gun Detection preview by Box_v11_medium_train_SIXray_OPIXray gun Detection preview by DN_Medium_300_yolov8m_20t7_new gun Detection preview by Segmentatation_v8_medium_train_250 gun Detection preview by Segmentation_V11_large_300_train_300 gun Detection preview by Segmentation_v8_large_300_train_300
Original Image: P02586.jpg
GT: gun
gun Detection preview by Box_v11_medium_train_SIXray_OPIXray No objects detected Detection preview by DN_Medium_300_yolov8m_20t7_new gun Detection preview by Segmentatation_v8_medium_train_250 gun Detection preview by Segmentation_V11_large_300_train_300 gun Detection preview by Segmentation_v8_large_300_train_300
Original Image: P02587.jpg
GT: knife
knife Detection preview by Box_v11_medium_train_SIXray_OPIXray No objects detected Detection preview by DN_Medium_300_yolov8m_20t7_new knife Detection preview by Segmentatation_v8_medium_train_250 knife Detection preview by Segmentation_V11_large_300_train_300 knife Detection preview by Segmentation_v8_large_300_train_300
Original Image: P02588.jpg
GT: knife
knife Detection preview by Box_v11_medium_train_SIXray_OPIXray No objects detected Detection preview by DN_Medium_300_yolov8m_20t7_new knife Detection preview by Segmentatation_v8_medium_train_250 knife Detection preview by Segmentation_V11_large_300_train_300 knife Detection preview by Segmentation_v8_large_300_train_300
Original Image: P02589.jpg
GT: gun
gun Detection preview by Box_v11_medium_train_SIXray_OPIXray No objects detected Detection preview by DN_Medium_300_yolov8m_20t7_new gun Detection preview by Segmentatation_v8_medium_train_250 gun Detection preview by Segmentation_V11_large_300_train_300 gun Detection preview by Segmentation_v8_large_300_train_300
Original Image: P02590.jpg
GT: knife
knife Detection preview by Box_v11_medium_train_SIXray_OPIXray No objects detected Detection preview by DN_Medium_300_yolov8m_20t7_new knife Detection preview by Segmentatation_v8_medium_train_250 knife Detection preview by Segmentation_V11_large_300_train_300 knife Detection preview by Segmentation_v8_large_300_train_300
Original Image: P02591.jpg
GT: knife
knife Detection preview by Box_v11_medium_train_SIXray_OPIXray No objects detected Detection preview by DN_Medium_300_yolov8m_20t7_new knife Detection preview by Segmentatation_v8_medium_train_250 knife Detection preview by Segmentation_V11_large_300_train_300 knife Detection preview by Segmentation_v8_large_300_train_300
Original Image: P02592.jpg
GT: knife
knife Detection preview by Box_v11_medium_train_SIXray_OPIXray No objects detected Detection preview by DN_Medium_300_yolov8m_20t7_new knife Detection preview by Segmentatation_v8_medium_train_250 knife Detection preview by Segmentation_V11_large_300_train_300 knife Detection preview by Segmentation_v8_large_300_train_300
Original Image: P02593.jpg
GT: gun
gun Detection preview by Box_v11_medium_train_SIXray_OPIXray No objects detected Detection preview by DN_Medium_300_yolov8m_20t7_new gun Detection preview by Segmentatation_v8_medium_train_250 gun Detection preview by Segmentation_V11_large_300_train_300 gun Detection preview by Segmentation_v8_large_300_train_300
Original Image: P02594.jpg
GT: knife
knife Detection preview by Box_v11_medium_train_SIXray_OPIXray No objects detected Detection preview by DN_Medium_300_yolov8m_20t7_new knife Detection preview by Segmentatation_v8_medium_train_250 knife Detection preview by Segmentation_V11_large_300_train_300 knife Detection preview by Segmentation_v8_large_300_train_300
Original Image: P02595.jpg
GT: knife
knife Detection preview by Box_v11_medium_train_SIXray_OPIXray No objects detected Detection preview by DN_Medium_300_yolov8m_20t7_new knife Detection preview by Segmentatation_v8_medium_train_250 knife Detection preview by Segmentation_V11_large_300_train_300 knife Detection preview by Segmentation_v8_large_300_train_300
Original Image: P02596.jpg
GT: gun, knife
gun, knife Detection preview by Box_v11_medium_train_SIXray_OPIXray No objects detected Detection preview by DN_Medium_300_yolov8m_20t7_new gun, knife Detection preview by Segmentatation_v8_medium_train_250 gun, knife Detection preview by Segmentation_V11_large_300_train_300 gun, knife Detection preview by Segmentation_v8_large_300_train_300
Original Image: P02597.jpg
GT: knife
knife Detection preview by Box_v11_medium_train_SIXray_OPIXray No objects detected Detection preview by DN_Medium_300_yolov8m_20t7_new knife Detection preview by Segmentatation_v8_medium_train_250 knife Detection preview by Segmentation_V11_large_300_train_300 knife Detection preview by Segmentation_v8_large_300_train_300
Original Image: P02598.jpg
GT: gun
gun Detection preview by Box_v11_medium_train_SIXray_OPIXray No objects detected Detection preview by DN_Medium_300_yolov8m_20t7_new gun Detection preview by Segmentatation_v8_medium_train_250 gun Detection preview by Segmentation_V11_large_300_train_300 gun Detection preview by Segmentation_v8_large_300_train_300
Original Image: P02599.jpg
GT: knife
knife Detection preview by Box_v11_medium_train_SIXray_OPIXray No objects detected Detection preview by DN_Medium_300_yolov8m_20t7_new knife Detection preview by Segmentatation_v8_medium_train_250 knife Detection preview by Segmentation_V11_large_300_train_300 knife Detection preview by Segmentation_v8_large_300_train_300
Original Image: P02600.jpg
GT: gun
gun Detection preview by Box_v11_medium_train_SIXray_OPIXray No objects detected Detection preview by DN_Medium_300_yolov8m_20t7_new gun Detection preview by Segmentatation_v8_medium_train_250 gun Detection preview by Segmentation_V11_large_300_train_300 gun Detection preview by Segmentation_v8_large_300_train_300
Original Image: P02601.jpg
GT: gun
gun Detection preview by Box_v11_medium_train_SIXray_OPIXray No objects detected Detection preview by DN_Medium_300_yolov8m_20t7_new gun Detection preview by Segmentatation_v8_medium_train_250 gun Detection preview by Segmentation_V11_large_300_train_300 gun Detection preview by Segmentation_v8_large_300_train_300
Original Image: P02602.jpg
GT: gun
gun Detection preview by Box_v11_medium_train_SIXray_OPIXray No objects detected Detection preview by DN_Medium_300_yolov8m_20t7_new gun Detection preview by Segmentatation_v8_medium_train_250 gun Detection preview by Segmentation_V11_large_300_train_300 gun Detection preview by Segmentation_v8_large_300_train_300
Original Image: P02603.jpg
GT: gun, knife
gun, knife Detection preview by Box_v11_medium_train_SIXray_OPIXray No objects detected Detection preview by DN_Medium_300_yolov8m_20t7_new gun, knife Detection preview by Segmentatation_v8_medium_train_250 gun, knife Detection preview by Segmentation_V11_large_300_train_300 gun, knife Detection preview by Segmentation_v8_large_300_train_300
Original Image: P02604.jpg
GT: gun
gun Detection preview by Box_v11_medium_train_SIXray_OPIXray gun Detection preview by DN_Medium_300_yolov8m_20t7_new gun Detection preview by Segmentatation_v8_medium_train_250 gun Detection preview by Segmentation_V11_large_300_train_300 gun Detection preview by Segmentation_v8_large_300_train_300
Original Image: P02605.jpg
GT: gun
gun Detection preview by Box_v11_medium_train_SIXray_OPIXray gun Detection preview by DN_Medium_300_yolov8m_20t7_new gun Detection preview by Segmentatation_v8_medium_train_250 gun Detection preview by Segmentation_V11_large_300_train_300 gun Detection preview by Segmentation_v8_large_300_train_300
Original Image: P02606.jpg
GT: knife
knife Detection preview by Box_v11_medium_train_SIXray_OPIXray No objects detected Detection preview by DN_Medium_300_yolov8m_20t7_new knife Detection preview by Segmentatation_v8_medium_train_250 knife Detection preview by Segmentation_V11_large_300_train_300 knife Detection preview by Segmentation_v8_large_300_train_300
Original Image: P02607.jpg
GT: gun
gun Detection preview by Box_v11_medium_train_SIXray_OPIXray No objects detected Detection preview by DN_Medium_300_yolov8m_20t7_new gun Detection preview by Segmentatation_v8_medium_train_250 gun Detection preview by Segmentation_V11_large_300_train_300 gun Detection preview by Segmentation_v8_large_300_train_300
Original Image: P02608.jpg
GT: knife
knife Detection preview by Box_v11_medium_train_SIXray_OPIXray No objects detected Detection preview by DN_Medium_300_yolov8m_20t7_new knife Detection preview by Segmentatation_v8_medium_train_250 knife Detection preview by Segmentation_V11_large_300_train_300 knife Detection preview by Segmentation_v8_large_300_train_300
Original Image: P02609.jpg
GT: gun
gun Detection preview by Box_v11_medium_train_SIXray_OPIXray No objects detected Detection preview by DN_Medium_300_yolov8m_20t7_new gun Detection preview by Segmentatation_v8_medium_train_250 gun Detection preview by Segmentation_V11_large_300_train_300 gun Detection preview by Segmentation_v8_large_300_train_300
Original Image: P02610.jpg
GT: gun
gun Detection preview by Box_v11_medium_train_SIXray_OPIXray No objects detected Detection preview by DN_Medium_300_yolov8m_20t7_new gun Detection preview by Segmentatation_v8_medium_train_250 gun Detection preview by Segmentation_V11_large_300_train_300 gun Detection preview by Segmentation_v8_large_300_train_300
Original Image: P02611.jpg
GT: gun
gun Detection preview by Box_v11_medium_train_SIXray_OPIXray No objects detected Detection preview by DN_Medium_300_yolov8m_20t7_new gun Detection preview by Segmentatation_v8_medium_train_250 gun Detection preview by Segmentation_V11_large_300_train_300 gun Detection preview by Segmentation_v8_large_300_train_300
Original Image: P02612.jpg
GT: gun, knife
gun, knife Detection preview by Box_v11_medium_train_SIXray_OPIXray No objects detected Detection preview by DN_Medium_300_yolov8m_20t7_new gun, knife Detection preview by Segmentatation_v8_medium_train_250 gun, knife Detection preview by Segmentation_V11_large_300_train_300 gun, knife Detection preview by Segmentation_v8_large_300_train_300
Original Image: P02613.jpg
GT: gun
gun Detection preview by Box_v11_medium_train_SIXray_OPIXray No objects detected Detection preview by DN_Medium_300_yolov8m_20t7_new gun Detection preview by Segmentatation_v8_medium_train_250 gun Detection preview by Segmentation_V11_large_300_train_300 gun Detection preview by Segmentation_v8_large_300_train_300
Original Image: P02614.jpg
GT: gun, knife
gun, knife Detection preview by Box_v11_medium_train_SIXray_OPIXray No objects detected Detection preview by DN_Medium_300_yolov8m_20t7_new gun, knife Detection preview by Segmentatation_v8_medium_train_250 gun, knife Detection preview by Segmentation_V11_large_300_train_300 gun, knife Detection preview by Segmentation_v8_large_300_train_300
Original Image: P02615.jpg
GT: knife
knife Detection preview by Box_v11_medium_train_SIXray_OPIXray No objects detected Detection preview by DN_Medium_300_yolov8m_20t7_new knife Detection preview by Segmentatation_v8_medium_train_250 knife Detection preview by Segmentation_V11_large_300_train_300 knife Detection preview by Segmentation_v8_large_300_train_300
Original Image: P02616.jpg
GT: knife
knife Detection preview by Box_v11_medium_train_SIXray_OPIXray No objects detected Detection preview by DN_Medium_300_yolov8m_20t7_new knife Detection preview by Segmentatation_v8_medium_train_250 knife Detection preview by Segmentation_V11_large_300_train_300 knife Detection preview by Segmentation_v8_large_300_train_300
Original Image: P02617.jpg
GT: knife
knife Detection preview by Box_v11_medium_train_SIXray_OPIXray No objects detected Detection preview by DN_Medium_300_yolov8m_20t7_new knife Detection preview by Segmentatation_v8_medium_train_250 knife Detection preview by Segmentation_V11_large_300_train_300 knife Detection preview by Segmentation_v8_large_300_train_300
Original Image: P02618.jpg
GT: gun
gun Detection preview by Box_v11_medium_train_SIXray_OPIXray No objects detected Detection preview by DN_Medium_300_yolov8m_20t7_new gun Detection preview by Segmentatation_v8_medium_train_250 gun Detection preview by Segmentation_V11_large_300_train_300 gun Detection preview by Segmentation_v8_large_300_train_300
Original Image: P02619.jpg
GT: gun
gun Detection preview by Box_v11_medium_train_SIXray_OPIXray No objects detected Detection preview by DN_Medium_300_yolov8m_20t7_new gun Detection preview by Segmentatation_v8_medium_train_250 gun Detection preview by Segmentation_V11_large_300_train_300 gun Detection preview by Segmentation_v8_large_300_train_300
Original Image: P02620.jpg
GT: knife
knife Detection preview by Box_v11_medium_train_SIXray_OPIXray No objects detected Detection preview by DN_Medium_300_yolov8m_20t7_new knife Detection preview by Segmentatation_v8_medium_train_250 knife Detection preview by Segmentation_V11_large_300_train_300 knife Detection preview by Segmentation_v8_large_300_train_300
Original Image: P02621.jpg
GT: gun
gun Detection preview by Box_v11_medium_train_SIXray_OPIXray No objects detected Detection preview by DN_Medium_300_yolov8m_20t7_new gun Detection preview by Segmentatation_v8_medium_train_250 gun Detection preview by Segmentation_V11_large_300_train_300 gun Detection preview by Segmentation_v8_large_300_train_300
Original Image: P02622.jpg
GT: gun, knife
gun, knife Detection preview by Box_v11_medium_train_SIXray_OPIXray No objects detected Detection preview by DN_Medium_300_yolov8m_20t7_new gun, knife Detection preview by Segmentatation_v8_medium_train_250 gun, knife Detection preview by Segmentation_V11_large_300_train_300 gun, knife Detection preview by Segmentation_v8_large_300_train_300
Original Image: P02623.jpg
GT: gun
gun Detection preview by Box_v11_medium_train_SIXray_OPIXray No objects detected Detection preview by DN_Medium_300_yolov8m_20t7_new gun Detection preview by Segmentatation_v8_medium_train_250 gun Detection preview by Segmentation_V11_large_300_train_300 gun Detection preview by Segmentation_v8_large_300_train_300
Original Image: P02624.jpg
GT: gun, knife
gun, knife Detection preview by Box_v11_medium_train_SIXray_OPIXray No objects detected Detection preview by DN_Medium_300_yolov8m_20t7_new gun, knife Detection preview by Segmentatation_v8_medium_train_250 gun, knife Detection preview by Segmentation_V11_large_300_train_300 gun, knife Detection preview by Segmentation_v8_large_300_train_300
Original Image: P02625.jpg
GT: gun
gun Detection preview by Box_v11_medium_train_SIXray_OPIXray No objects detected Detection preview by DN_Medium_300_yolov8m_20t7_new gun Detection preview by Segmentatation_v8_medium_train_250 gun Detection preview by Segmentation_V11_large_300_train_300 gun Detection preview by Segmentation_v8_large_300_train_300
Original Image: P02626.jpg
GT: gun
gun Detection preview by Box_v11_medium_train_SIXray_OPIXray No objects detected Detection preview by DN_Medium_300_yolov8m_20t7_new gun Detection preview by Segmentatation_v8_medium_train_250 gun Detection preview by Segmentation_V11_large_300_train_300 gun Detection preview by Segmentation_v8_large_300_train_300
Original Image: P02627.jpg
GT: knife
knife Detection preview by Box_v11_medium_train_SIXray_OPIXray No objects detected Detection preview by DN_Medium_300_yolov8m_20t7_new knife Detection preview by Segmentatation_v8_medium_train_250 knife Detection preview by Segmentation_V11_large_300_train_300 knife Detection preview by Segmentation_v8_large_300_train_300
Original Image: P02628.jpg
GT: gun
gun Detection preview by Box_v11_medium_train_SIXray_OPIXray No objects detected Detection preview by DN_Medium_300_yolov8m_20t7_new gun Detection preview by Segmentatation_v8_medium_train_250 gun Detection preview by Segmentation_V11_large_300_train_300 gun Detection preview by Segmentation_v8_large_300_train_300
Original Image: P02629.jpg
GT: knife
knife Detection preview by Box_v11_medium_train_SIXray_OPIXray No objects detected Detection preview by DN_Medium_300_yolov8m_20t7_new knife Detection preview by Segmentatation_v8_medium_train_250 knife Detection preview by Segmentation_V11_large_300_train_300 knife Detection preview by Segmentation_v8_large_300_train_300
Original Image: P02630.jpg
GT: gun
gun Detection preview by Box_v11_medium_train_SIXray_OPIXray No objects detected Detection preview by DN_Medium_300_yolov8m_20t7_new gun Detection preview by Segmentatation_v8_medium_train_250 gun Detection preview by Segmentation_V11_large_300_train_300 gun Detection preview by Segmentation_v8_large_300_train_300
Original Image: P02631.jpg
GT: gun
gun Detection preview by Box_v11_medium_train_SIXray_OPIXray No objects detected Detection preview by DN_Medium_300_yolov8m_20t7_new gun Detection preview by Segmentatation_v8_medium_train_250 gun Detection preview by Segmentation_V11_large_300_train_300 gun Detection preview by Segmentation_v8_large_300_train_300
Original Image: P02632.jpg
GT: gun
gun Detection preview by Box_v11_medium_train_SIXray_OPIXray No objects detected Detection preview by DN_Medium_300_yolov8m_20t7_new gun Detection preview by Segmentatation_v8_medium_train_250 gun Detection preview by Segmentation_V11_large_300_train_300 gun Detection preview by Segmentation_v8_large_300_train_300
Original Image: P02633.jpg
GT: knife
knife Detection preview by Box_v11_medium_train_SIXray_OPIXray No objects detected Detection preview by DN_Medium_300_yolov8m_20t7_new knife Detection preview by Segmentatation_v8_medium_train_250 knife Detection preview by Segmentation_V11_large_300_train_300 knife Detection preview by Segmentation_v8_large_300_train_300
Original Image: P02634.jpg
GT: gun
gun Detection preview by Box_v11_medium_train_SIXray_OPIXray No objects detected Detection preview by DN_Medium_300_yolov8m_20t7_new gun Detection preview by Segmentatation_v8_medium_train_250 gun Detection preview by Segmentation_V11_large_300_train_300 gun Detection preview by Segmentation_v8_large_300_train_300
Original Image: P02635.jpg
GT: knife
knife Detection preview by Box_v11_medium_train_SIXray_OPIXray No objects detected Detection preview by DN_Medium_300_yolov8m_20t7_new knife Detection preview by Segmentatation_v8_medium_train_250 knife Detection preview by Segmentation_V11_large_300_train_300 knife Detection preview by Segmentation_v8_large_300_train_300
Original Image: P02636.jpg
GT: gun
gun Detection preview by Box_v11_medium_train_SIXray_OPIXray gun Detection preview by DN_Medium_300_yolov8m_20t7_new gun Detection preview by Segmentatation_v8_medium_train_250 gun Detection preview by Segmentation_V11_large_300_train_300 gun Detection preview by Segmentation_v8_large_300_train_300
Original Image: P02637.jpg
GT: gun
gun Detection preview by Box_v11_medium_train_SIXray_OPIXray No objects detected Detection preview by DN_Medium_300_yolov8m_20t7_new gun Detection preview by Segmentatation_v8_medium_train_250 gun Detection preview by Segmentation_V11_large_300_train_300 gun Detection preview by Segmentation_v8_large_300_train_300
Original Image: P02638.jpg
GT: knife
knife Detection preview by Box_v11_medium_train_SIXray_OPIXray No objects detected Detection preview by DN_Medium_300_yolov8m_20t7_new knife Detection preview by Segmentatation_v8_medium_train_250 knife Detection preview by Segmentation_V11_large_300_train_300 knife Detection preview by Segmentation_v8_large_300_train_300
Original Image: P02639.jpg
GT: knife
knife Detection preview by Box_v11_medium_train_SIXray_OPIXray No objects detected Detection preview by DN_Medium_300_yolov8m_20t7_new knife Detection preview by Segmentatation_v8_medium_train_250 knife Detection preview by Segmentation_V11_large_300_train_300 knife Detection preview by Segmentation_v8_large_300_train_300
Original Image: P02640.jpg
GT: knife
knife Detection preview by Box_v11_medium_train_SIXray_OPIXray No objects detected Detection preview by DN_Medium_300_yolov8m_20t7_new knife Detection preview by Segmentatation_v8_medium_train_250 knife Detection preview by Segmentation_V11_large_300_train_300 knife Detection preview by Segmentation_v8_large_300_train_300
Original Image: P02641.jpg
GT: knife
knife Detection preview by Box_v11_medium_train_SIXray_OPIXray No objects detected Detection preview by DN_Medium_300_yolov8m_20t7_new knife Detection preview by Segmentatation_v8_medium_train_250 knife Detection preview by Segmentation_V11_large_300_train_300 knife Detection preview by Segmentation_v8_large_300_train_300
Original Image: P02642.jpg
GT: gun
gun Detection preview by Box_v11_medium_train_SIXray_OPIXray gun Detection preview by DN_Medium_300_yolov8m_20t7_new gun Detection preview by Segmentatation_v8_medium_train_250 gun Detection preview by Segmentation_V11_large_300_train_300 gun Detection preview by Segmentation_v8_large_300_train_300
Original Image: P02643.jpg
GT: gun
gun Detection preview by Box_v11_medium_train_SIXray_OPIXray gun Detection preview by DN_Medium_300_yolov8m_20t7_new gun Detection preview by Segmentatation_v8_medium_train_250 gun Detection preview by Segmentation_V11_large_300_train_300 gun Detection preview by Segmentation_v8_large_300_train_300
Original Image: P02644.jpg
GT: gun
gun Detection preview by Box_v11_medium_train_SIXray_OPIXray gun Detection preview by DN_Medium_300_yolov8m_20t7_new gun Detection preview by Segmentatation_v8_medium_train_250 gun Detection preview by Segmentation_V11_large_300_train_300 gun Detection preview by Segmentation_v8_large_300_train_300
Original Image: P02645.jpg
GT: gun
gun Detection preview by Box_v11_medium_train_SIXray_OPIXray gun Detection preview by DN_Medium_300_yolov8m_20t7_new gun Detection preview by Segmentatation_v8_medium_train_250 gun Detection preview by Segmentation_V11_large_300_train_300 gun Detection preview by Segmentation_v8_large_300_train_300
Original Image: P02646.jpg
GT: knife
knife Detection preview by Box_v11_medium_train_SIXray_OPIXray No objects detected Detection preview by DN_Medium_300_yolov8m_20t7_new knife Detection preview by Segmentatation_v8_medium_train_250 knife Detection preview by Segmentation_V11_large_300_train_300 knife Detection preview by Segmentation_v8_large_300_train_300
Original Image: P02647.jpg
GT: knife
knife Detection preview by Box_v11_medium_train_SIXray_OPIXray No objects detected Detection preview by DN_Medium_300_yolov8m_20t7_new knife Detection preview by Segmentatation_v8_medium_train_250 knife Detection preview by Segmentation_V11_large_300_train_300 knife Detection preview by Segmentation_v8_large_300_train_300
Original Image: P02648.jpg
GT: knife
knife Detection preview by Box_v11_medium_train_SIXray_OPIXray No objects detected Detection preview by DN_Medium_300_yolov8m_20t7_new knife Detection preview by Segmentatation_v8_medium_train_250 knife Detection preview by Segmentation_V11_large_300_train_300 knife Detection preview by Segmentation_v8_large_300_train_300
Original Image: P02649.jpg
GT: gun
gun Detection preview by Box_v11_medium_train_SIXray_OPIXray gun Detection preview by DN_Medium_300_yolov8m_20t7_new gun Detection preview by Segmentatation_v8_medium_train_250 gun Detection preview by Segmentation_V11_large_300_train_300 gun Detection preview by Segmentation_v8_large_300_train_300
Original Image: P02650.jpg
GT: knife
knife Detection preview by Box_v11_medium_train_SIXray_OPIXray No objects detected Detection preview by DN_Medium_300_yolov8m_20t7_new knife Detection preview by Segmentatation_v8_medium_train_250 knife Detection preview by Segmentation_V11_large_300_train_300 knife Detection preview by Segmentation_v8_large_300_train_300
Original Image: P02651.jpg
GT: gun
gun Detection preview by Box_v11_medium_train_SIXray_OPIXray gun Detection preview by DN_Medium_300_yolov8m_20t7_new gun Detection preview by Segmentatation_v8_medium_train_250 gun Detection preview by Segmentation_V11_large_300_train_300 gun Detection preview by Segmentation_v8_large_300_train_300
Original Image: P02652.jpg
GT: gun
gun Detection preview by Box_v11_medium_train_SIXray_OPIXray gun Detection preview by DN_Medium_300_yolov8m_20t7_new gun Detection preview by Segmentatation_v8_medium_train_250 gun Detection preview by Segmentation_V11_large_300_train_300 gun Detection preview by Segmentation_v8_large_300_train_300
Original Image: P02653.jpg
GT: gun
gun Detection preview by Box_v11_medium_train_SIXray_OPIXray gun Detection preview by DN_Medium_300_yolov8m_20t7_new gun Detection preview by Segmentatation_v8_medium_train_250 gun Detection preview by Segmentation_V11_large_300_train_300 gun Detection preview by Segmentation_v8_large_300_train_300
Original Image: P02654.jpg
GT: knife
knife Detection preview by Box_v11_medium_train_SIXray_OPIXray No objects detected Detection preview by DN_Medium_300_yolov8m_20t7_new knife Detection preview by Segmentatation_v8_medium_train_250 knife Detection preview by Segmentation_V11_large_300_train_300 knife Detection preview by Segmentation_v8_large_300_train_300
Original Image: P02655.jpg
GT: knife
knife Detection preview by Box_v11_medium_train_SIXray_OPIXray No objects detected Detection preview by DN_Medium_300_yolov8m_20t7_new knife Detection preview by Segmentatation_v8_medium_train_250 knife Detection preview by Segmentation_V11_large_300_train_300 knife Detection preview by Segmentation_v8_large_300_train_300
Original Image: P02656.jpg
GT: gun
gun Detection preview by Box_v11_medium_train_SIXray_OPIXray No objects detected Detection preview by DN_Medium_300_yolov8m_20t7_new gun Detection preview by Segmentatation_v8_medium_train_250 gun Detection preview by Segmentation_V11_large_300_train_300 gun Detection preview by Segmentation_v8_large_300_train_300
Original Image: P02657.jpg
GT: gun
gun Detection preview by Box_v11_medium_train_SIXray_OPIXray No objects detected Detection preview by DN_Medium_300_yolov8m_20t7_new gun Detection preview by Segmentatation_v8_medium_train_250 gun Detection preview by Segmentation_V11_large_300_train_300 gun Detection preview by Segmentation_v8_large_300_train_300
Original Image: P02658.jpg
GT: gun
gun Detection preview by Box_v11_medium_train_SIXray_OPIXray No objects detected Detection preview by DN_Medium_300_yolov8m_20t7_new gun Detection preview by Segmentatation_v8_medium_train_250 gun Detection preview by Segmentation_V11_large_300_train_300 gun Detection preview by Segmentation_v8_large_300_train_300
Original Image: P02659.jpg
GT: knife
knife Detection preview by Box_v11_medium_train_SIXray_OPIXray No objects detected Detection preview by DN_Medium_300_yolov8m_20t7_new knife Detection preview by Segmentatation_v8_medium_train_250 knife Detection preview by Segmentation_V11_large_300_train_300 knife Detection preview by Segmentation_v8_large_300_train_300
Original Image: P02660.jpg
GT: gun
gun Detection preview by Box_v11_medium_train_SIXray_OPIXray No objects detected Detection preview by DN_Medium_300_yolov8m_20t7_new gun Detection preview by Segmentatation_v8_medium_train_250 gun Detection preview by Segmentation_V11_large_300_train_300 gun Detection preview by Segmentation_v8_large_300_train_300
Original Image: P02661.jpg
GT: knife
knife Detection preview by Box_v11_medium_train_SIXray_OPIXray No objects detected Detection preview by DN_Medium_300_yolov8m_20t7_new knife Detection preview by Segmentatation_v8_medium_train_250 knife Detection preview by Segmentation_V11_large_300_train_300 knife Detection preview by Segmentation_v8_large_300_train_300
Original Image: P02662.jpg
GT: gun
gun Detection preview by Box_v11_medium_train_SIXray_OPIXray gun Detection preview by DN_Medium_300_yolov8m_20t7_new gun Detection preview by Segmentatation_v8_medium_train_250 gun Detection preview by Segmentation_V11_large_300_train_300 gun Detection preview by Segmentation_v8_large_300_train_300
Original Image: P02663.jpg
GT: gun, knife
gun, knife Detection preview by Box_v11_medium_train_SIXray_OPIXray gun Detection preview by DN_Medium_300_yolov8m_20t7_new gun, knife Detection preview by Segmentatation_v8_medium_train_250 gun, knife Detection preview by Segmentation_V11_large_300_train_300 gun, knife Detection preview by Segmentation_v8_large_300_train_300
Original Image: P02664.jpg
GT: knife
knife Detection preview by Box_v11_medium_train_SIXray_OPIXray No objects detected Detection preview by DN_Medium_300_yolov8m_20t7_new knife Detection preview by Segmentatation_v8_medium_train_250 knife Detection preview by Segmentation_V11_large_300_train_300 knife Detection preview by Segmentation_v8_large_300_train_300
Original Image: P02665.jpg
GT: knife
knife Detection preview by Box_v11_medium_train_SIXray_OPIXray No objects detected Detection preview by DN_Medium_300_yolov8m_20t7_new knife Detection preview by Segmentatation_v8_medium_train_250 knife Detection preview by Segmentation_V11_large_300_train_300 knife Detection preview by Segmentation_v8_large_300_train_300
Original Image: P02666.jpg
GT: gun
gun Detection preview by Box_v11_medium_train_SIXray_OPIXray gun Detection preview by DN_Medium_300_yolov8m_20t7_new gun Detection preview by Segmentatation_v8_medium_train_250 gun Detection preview by Segmentation_V11_large_300_train_300 gun Detection preview by Segmentation_v8_large_300_train_300
Original Image: P02667.jpg
GT: gun
gun Detection preview by Box_v11_medium_train_SIXray_OPIXray No objects detected Detection preview by DN_Medium_300_yolov8m_20t7_new gun Detection preview by Segmentatation_v8_medium_train_250 gun Detection preview by Segmentation_V11_large_300_train_300 gun Detection preview by Segmentation_v8_large_300_train_300
Original Image: P02668.jpg
GT: gun, knife
gun, knife Detection preview by Box_v11_medium_train_SIXray_OPIXray gun Detection preview by DN_Medium_300_yolov8m_20t7_new gun, knife Detection preview by Segmentatation_v8_medium_train_250 gun, knife Detection preview by Segmentation_V11_large_300_train_300 gun, knife Detection preview by Segmentation_v8_large_300_train_300
Original Image: P02669.jpg
GT: gun
gun Detection preview by Box_v11_medium_train_SIXray_OPIXray No objects detected Detection preview by DN_Medium_300_yolov8m_20t7_new gun Detection preview by Segmentatation_v8_medium_train_250 gun Detection preview by Segmentation_V11_large_300_train_300 gun Detection preview by Segmentation_v8_large_300_train_300
Original Image: P02670.jpg
GT: knife
knife Detection preview by Box_v11_medium_train_SIXray_OPIXray No objects detected Detection preview by DN_Medium_300_yolov8m_20t7_new knife Detection preview by Segmentatation_v8_medium_train_250 knife Detection preview by Segmentation_V11_large_300_train_300 knife Detection preview by Segmentation_v8_large_300_train_300
Original Image: P02671.jpg
GT: gun
gun Detection preview by Box_v11_medium_train_SIXray_OPIXray No objects detected Detection preview by DN_Medium_300_yolov8m_20t7_new gun Detection preview by Segmentatation_v8_medium_train_250 gun Detection preview by Segmentation_V11_large_300_train_300 gun Detection preview by Segmentation_v8_large_300_train_300
Original Image: P02672.jpg
GT: knife
knife Detection preview by Box_v11_medium_train_SIXray_OPIXray No objects detected Detection preview by DN_Medium_300_yolov8m_20t7_new knife Detection preview by Segmentatation_v8_medium_train_250 knife Detection preview by Segmentation_V11_large_300_train_300 knife Detection preview by Segmentation_v8_large_300_train_300
Original Image: P02673.jpg
GT: gun
gun Detection preview by Box_v11_medium_train_SIXray_OPIXray No objects detected Detection preview by DN_Medium_300_yolov8m_20t7_new gun Detection preview by Segmentatation_v8_medium_train_250 gun Detection preview by Segmentation_V11_large_300_train_300 gun Detection preview by Segmentation_v8_large_300_train_300
Original Image: P02674.jpg
GT: gun, knife
gun, knife Detection preview by Box_v11_medium_train_SIXray_OPIXray gun Detection preview by DN_Medium_300_yolov8m_20t7_new gun, knife Detection preview by Segmentatation_v8_medium_train_250 gun, knife Detection preview by Segmentation_V11_large_300_train_300 gun, knife Detection preview by Segmentation_v8_large_300_train_300
Original Image: P02675.jpg
GT: gun
gun Detection preview by Box_v11_medium_train_SIXray_OPIXray No objects detected Detection preview by DN_Medium_300_yolov8m_20t7_new gun Detection preview by Segmentatation_v8_medium_train_250 gun Detection preview by Segmentation_V11_large_300_train_300 gun Detection preview by Segmentation_v8_large_300_train_300
Original Image: P02676.jpg
GT: gun
gun Detection preview by Box_v11_medium_train_SIXray_OPIXray No objects detected Detection preview by DN_Medium_300_yolov8m_20t7_new gun Detection preview by Segmentatation_v8_medium_train_250 gun Detection preview by Segmentation_V11_large_300_train_300 gun Detection preview by Segmentation_v8_large_300_train_300
Original Image: P02677.jpg
GT: gun
gun Detection preview by Box_v11_medium_train_SIXray_OPIXray No objects detected Detection preview by DN_Medium_300_yolov8m_20t7_new gun Detection preview by Segmentatation_v8_medium_train_250 gun Detection preview by Segmentation_V11_large_300_train_300 gun Detection preview by Segmentation_v8_large_300_train_300
Original Image: P02678.jpg
GT: gun
gun Detection preview by Box_v11_medium_train_SIXray_OPIXray No objects detected Detection preview by DN_Medium_300_yolov8m_20t7_new gun Detection preview by Segmentatation_v8_medium_train_250 gun Detection preview by Segmentation_V11_large_300_train_300 gun Detection preview by Segmentation_v8_large_300_train_300
Original Image: P02679.jpg
GT: gun, knife
gun, knife Detection preview by Box_v11_medium_train_SIXray_OPIXray gun Detection preview by DN_Medium_300_yolov8m_20t7_new gun, knife Detection preview by Segmentatation_v8_medium_train_250 gun, knife Detection preview by Segmentation_V11_large_300_train_300 gun, knife Detection preview by Segmentation_v8_large_300_train_300
Original Image: P02680.jpg
GT: knife
knife Detection preview by Box_v11_medium_train_SIXray_OPIXray No objects detected Detection preview by DN_Medium_300_yolov8m_20t7_new knife Detection preview by Segmentatation_v8_medium_train_250 knife Detection preview by Segmentation_V11_large_300_train_300 knife Detection preview by Segmentation_v8_large_300_train_300
Original Image: P02681.jpg
GT: gun
gun Detection preview by Box_v11_medium_train_SIXray_OPIXray No objects detected Detection preview by DN_Medium_300_yolov8m_20t7_new gun Detection preview by Segmentatation_v8_medium_train_250 gun Detection preview by Segmentation_V11_large_300_train_300 gun Detection preview by Segmentation_v8_large_300_train_300
Original Image: P02682.jpg
GT: knife
knife Detection preview by Box_v11_medium_train_SIXray_OPIXray No objects detected Detection preview by DN_Medium_300_yolov8m_20t7_new knife Detection preview by Segmentatation_v8_medium_train_250 knife Detection preview by Segmentation_V11_large_300_train_300 knife Detection preview by Segmentation_v8_large_300_train_300
Original Image: P02683.jpg
GT: gun
gun Detection preview by Box_v11_medium_train_SIXray_OPIXray gun Detection preview by DN_Medium_300_yolov8m_20t7_new gun Detection preview by Segmentatation_v8_medium_train_250 gun Detection preview by Segmentation_V11_large_300_train_300 gun Detection preview by Segmentation_v8_large_300_train_300
Original Image: P02684.jpg
GT: gun, knife
gun, knife Detection preview by Box_v11_medium_train_SIXray_OPIXray No objects detected Detection preview by DN_Medium_300_yolov8m_20t7_new gun, knife Detection preview by Segmentatation_v8_medium_train_250 gun, knife Detection preview by Segmentation_V11_large_300_train_300 gun, knife Detection preview by Segmentation_v8_large_300_train_300
Original Image: P02685.jpg
GT: knife
knife Detection preview by Box_v11_medium_train_SIXray_OPIXray No objects detected Detection preview by DN_Medium_300_yolov8m_20t7_new knife Detection preview by Segmentatation_v8_medium_train_250 knife Detection preview by Segmentation_V11_large_300_train_300 knife Detection preview by Segmentation_v8_large_300_train_300
Original Image: P02686.jpg
GT: gun
gun Detection preview by Box_v11_medium_train_SIXray_OPIXray gun Detection preview by DN_Medium_300_yolov8m_20t7_new gun Detection preview by Segmentatation_v8_medium_train_250 gun Detection preview by Segmentation_V11_large_300_train_300 gun Detection preview by Segmentation_v8_large_300_train_300
Original Image: P02687.jpg
GT: gun
gun Detection preview by Box_v11_medium_train_SIXray_OPIXray No objects detected Detection preview by DN_Medium_300_yolov8m_20t7_new gun Detection preview by Segmentatation_v8_medium_train_250 gun Detection preview by Segmentation_V11_large_300_train_300 gun Detection preview by Segmentation_v8_large_300_train_300
Original Image: P02688.jpg
GT: knife
knife Detection preview by Box_v11_medium_train_SIXray_OPIXray No objects detected Detection preview by DN_Medium_300_yolov8m_20t7_new knife Detection preview by Segmentatation_v8_medium_train_250 knife Detection preview by Segmentation_V11_large_300_train_300 knife Detection preview by Segmentation_v8_large_300_train_300
Original Image: P02689.jpg
GT: knife
knife Detection preview by Box_v11_medium_train_SIXray_OPIXray No objects detected Detection preview by DN_Medium_300_yolov8m_20t7_new knife Detection preview by Segmentatation_v8_medium_train_250 knife Detection preview by Segmentation_V11_large_300_train_300 knife Detection preview by Segmentation_v8_large_300_train_300
Original Image: P02690.jpg
GT: knife
knife Detection preview by Box_v11_medium_train_SIXray_OPIXray No objects detected Detection preview by DN_Medium_300_yolov8m_20t7_new knife Detection preview by Segmentatation_v8_medium_train_250 knife Detection preview by Segmentation_V11_large_300_train_300 knife Detection preview by Segmentation_v8_large_300_train_300
Original Image: P02691.jpg
GT: gun
gun Detection preview by Box_v11_medium_train_SIXray_OPIXray No objects detected Detection preview by DN_Medium_300_yolov8m_20t7_new gun Detection preview by Segmentatation_v8_medium_train_250 gun Detection preview by Segmentation_V11_large_300_train_300 gun Detection preview by Segmentation_v8_large_300_train_300
Original Image: P02692.jpg
GT: knife
knife Detection preview by Box_v11_medium_train_SIXray_OPIXray No objects detected Detection preview by DN_Medium_300_yolov8m_20t7_new knife Detection preview by Segmentatation_v8_medium_train_250 knife Detection preview by Segmentation_V11_large_300_train_300 knife Detection preview by Segmentation_v8_large_300_train_300
Original Image: P02693.jpg
GT: gun, knife
gun, knife Detection preview by Box_v11_medium_train_SIXray_OPIXray No objects detected Detection preview by DN_Medium_300_yolov8m_20t7_new gun, knife Detection preview by Segmentatation_v8_medium_train_250 gun, knife Detection preview by Segmentation_V11_large_300_train_300 gun, knife Detection preview by Segmentation_v8_large_300_train_300
Original Image: P02694.jpg
GT: gun
gun Detection preview by Box_v11_medium_train_SIXray_OPIXray No objects detected Detection preview by DN_Medium_300_yolov8m_20t7_new gun Detection preview by Segmentatation_v8_medium_train_250 gun Detection preview by Segmentation_V11_large_300_train_300 gun Detection preview by Segmentation_v8_large_300_train_300
Original Image: P02695.jpg
GT: gun
gun Detection preview by Box_v11_medium_train_SIXray_OPIXray No objects detected Detection preview by DN_Medium_300_yolov8m_20t7_new gun Detection preview by Segmentatation_v8_medium_train_250 gun Detection preview by Segmentation_V11_large_300_train_300 gun Detection preview by Segmentation_v8_large_300_train_300
Original Image: P02696.jpg
GT: gun, knife
gun, knife Detection preview by Box_v11_medium_train_SIXray_OPIXray No objects detected Detection preview by DN_Medium_300_yolov8m_20t7_new gun, knife Detection preview by Segmentatation_v8_medium_train_250 gun, knife Detection preview by Segmentation_V11_large_300_train_300 gun, knife Detection preview by Segmentation_v8_large_300_train_300
Original Image: P02697.jpg
GT: gun
gun Detection preview by Box_v11_medium_train_SIXray_OPIXray No objects detected Detection preview by DN_Medium_300_yolov8m_20t7_new gun Detection preview by Segmentatation_v8_medium_train_250 gun Detection preview by Segmentation_V11_large_300_train_300 gun Detection preview by Segmentation_v8_large_300_train_300
Original Image: P02698.jpg
GT: gun, knife
gun, knife Detection preview by Box_v11_medium_train_SIXray_OPIXray No objects detected Detection preview by DN_Medium_300_yolov8m_20t7_new gun, knife Detection preview by Segmentatation_v8_medium_train_250 gun, knife Detection preview by Segmentation_V11_large_300_train_300 gun, knife Detection preview by Segmentation_v8_large_300_train_300
Original Image: P02699.jpg
GT: gun
gun Detection preview by Box_v11_medium_train_SIXray_OPIXray No objects detected Detection preview by DN_Medium_300_yolov8m_20t7_new gun Detection preview by Segmentatation_v8_medium_train_250 gun Detection preview by Segmentation_V11_large_300_train_300 gun Detection preview by Segmentation_v8_large_300_train_300
Original Image: P02700.jpg
GT: gun, knife
gun, knife Detection preview by Box_v11_medium_train_SIXray_OPIXray No objects detected Detection preview by DN_Medium_300_yolov8m_20t7_new gun, knife Detection preview by Segmentatation_v8_medium_train_250 gun, knife Detection preview by Segmentation_V11_large_300_train_300 gun, knife Detection preview by Segmentation_v8_large_300_train_300
Original Image: P02701.jpg
GT: knife
knife Detection preview by Box_v11_medium_train_SIXray_OPIXray No objects detected Detection preview by DN_Medium_300_yolov8m_20t7_new knife Detection preview by Segmentatation_v8_medium_train_250 knife Detection preview by Segmentation_V11_large_300_train_300 knife Detection preview by Segmentation_v8_large_300_train_300
Original Image: P02702.jpg
GT: gun
gun Detection preview by Box_v11_medium_train_SIXray_OPIXray No objects detected Detection preview by DN_Medium_300_yolov8m_20t7_new gun Detection preview by Segmentatation_v8_medium_train_250 gun Detection preview by Segmentation_V11_large_300_train_300 gun Detection preview by Segmentation_v8_large_300_train_300
Original Image: P02703.jpg
GT: knife
knife Detection preview by Box_v11_medium_train_SIXray_OPIXray No objects detected Detection preview by DN_Medium_300_yolov8m_20t7_new knife Detection preview by Segmentatation_v8_medium_train_250 knife Detection preview by Segmentation_V11_large_300_train_300 knife Detection preview by Segmentation_v8_large_300_train_300
Original Image: P02704.jpg
GT: knife
knife Detection preview by Box_v11_medium_train_SIXray_OPIXray No objects detected Detection preview by DN_Medium_300_yolov8m_20t7_new knife Detection preview by Segmentatation_v8_medium_train_250 knife Detection preview by Segmentation_V11_large_300_train_300 knife Detection preview by Segmentation_v8_large_300_train_300
Original Image: P02705.jpg
GT: gun
gun Detection preview by Box_v11_medium_train_SIXray_OPIXray No objects detected Detection preview by DN_Medium_300_yolov8m_20t7_new gun Detection preview by Segmentatation_v8_medium_train_250 gun Detection preview by Segmentation_V11_large_300_train_300 gun Detection preview by Segmentation_v8_large_300_train_300
Original Image: P02706.jpg
GT: gun, knife
gun, knife Detection preview by Box_v11_medium_train_SIXray_OPIXray No objects detected Detection preview by DN_Medium_300_yolov8m_20t7_new gun, knife Detection preview by Segmentatation_v8_medium_train_250 gun, knife Detection preview by Segmentation_V11_large_300_train_300 gun, knife Detection preview by Segmentation_v8_large_300_train_300
Original Image: P02707.jpg
GT: knife
knife Detection preview by Box_v11_medium_train_SIXray_OPIXray No objects detected Detection preview by DN_Medium_300_yolov8m_20t7_new knife Detection preview by Segmentatation_v8_medium_train_250 knife Detection preview by Segmentation_V11_large_300_train_300 knife Detection preview by Segmentation_v8_large_300_train_300
Original Image: P02708.jpg
GT: gun
gun Detection preview by Box_v11_medium_train_SIXray_OPIXray No objects detected Detection preview by DN_Medium_300_yolov8m_20t7_new gun Detection preview by Segmentatation_v8_medium_train_250 gun Detection preview by Segmentation_V11_large_300_train_300 gun Detection preview by Segmentation_v8_large_300_train_300
Original Image: P02709.jpg
GT: gun, knife
gun, knife Detection preview by Box_v11_medium_train_SIXray_OPIXray No objects detected Detection preview by DN_Medium_300_yolov8m_20t7_new gun, knife Detection preview by Segmentatation_v8_medium_train_250 gun, knife Detection preview by Segmentation_V11_large_300_train_300 gun, knife Detection preview by Segmentation_v8_large_300_train_300
Original Image: P02710.jpg
GT: gun, knife
gun, knife Detection preview by Box_v11_medium_train_SIXray_OPIXray No objects detected Detection preview by DN_Medium_300_yolov8m_20t7_new gun, knife Detection preview by Segmentatation_v8_medium_train_250 gun, knife Detection preview by Segmentation_V11_large_300_train_300 gun, knife Detection preview by Segmentation_v8_large_300_train_300
Original Image: P02711.jpg
GT: gun
gun Detection preview by Box_v11_medium_train_SIXray_OPIXray gun Detection preview by DN_Medium_300_yolov8m_20t7_new gun Detection preview by Segmentatation_v8_medium_train_250 gun Detection preview by Segmentation_V11_large_300_train_300 gun Detection preview by Segmentation_v8_large_300_train_300
Original Image: P02712.jpg
GT: gun
gun Detection preview by Box_v11_medium_train_SIXray_OPIXray No objects detected Detection preview by DN_Medium_300_yolov8m_20t7_new gun Detection preview by Segmentatation_v8_medium_train_250 gun Detection preview by Segmentation_V11_large_300_train_300 gun Detection preview by Segmentation_v8_large_300_train_300
Original Image: P02713.jpg
GT: gun, knife
gun, knife Detection preview by Box_v11_medium_train_SIXray_OPIXray No objects detected Detection preview by DN_Medium_300_yolov8m_20t7_new gun, knife Detection preview by Segmentatation_v8_medium_train_250 gun, knife Detection preview by Segmentation_V11_large_300_train_300 gun, knife Detection preview by Segmentation_v8_large_300_train_300
Original Image: P02714.jpg
GT: gun, knife
gun, knife Detection preview by Box_v11_medium_train_SIXray_OPIXray No objects detected Detection preview by DN_Medium_300_yolov8m_20t7_new gun, knife Detection preview by Segmentatation_v8_medium_train_250 gun, knife Detection preview by Segmentation_V11_large_300_train_300 gun, knife Detection preview by Segmentation_v8_large_300_train_300
Original Image: P02715.jpg
GT: gun, knife
gun, knife Detection preview by Box_v11_medium_train_SIXray_OPIXray No objects detected Detection preview by DN_Medium_300_yolov8m_20t7_new gun, knife Detection preview by Segmentatation_v8_medium_train_250 gun, knife Detection preview by Segmentation_V11_large_300_train_300 gun, knife Detection preview by Segmentation_v8_large_300_train_300
Original Image: P02716.jpg
GT: knife
knife Detection preview by Box_v11_medium_train_SIXray_OPIXray No objects detected Detection preview by DN_Medium_300_yolov8m_20t7_new knife Detection preview by Segmentatation_v8_medium_train_250 knife Detection preview by Segmentation_V11_large_300_train_300 knife Detection preview by Segmentation_v8_large_300_train_300
Original Image: P02717.jpg
GT: knife
knife Detection preview by Box_v11_medium_train_SIXray_OPIXray No objects detected Detection preview by DN_Medium_300_yolov8m_20t7_new knife Detection preview by Segmentatation_v8_medium_train_250 knife Detection preview by Segmentation_V11_large_300_train_300 knife Detection preview by Segmentation_v8_large_300_train_300
Original Image: P02718.jpg
GT: gun
gun Detection preview by Box_v11_medium_train_SIXray_OPIXray No objects detected Detection preview by DN_Medium_300_yolov8m_20t7_new gun Detection preview by Segmentatation_v8_medium_train_250 gun Detection preview by Segmentation_V11_large_300_train_300 gun Detection preview by Segmentation_v8_large_300_train_300
Original Image: P02719.jpg
GT: gun
gun Detection preview by Box_v11_medium_train_SIXray_OPIXray gun Detection preview by DN_Medium_300_yolov8m_20t7_new gun Detection preview by Segmentatation_v8_medium_train_250 gun Detection preview by Segmentation_V11_large_300_train_300 gun Detection preview by Segmentation_v8_large_300_train_300
Original Image: P02720.jpg
GT: gun
gun Detection preview by Box_v11_medium_train_SIXray_OPIXray No objects detected Detection preview by DN_Medium_300_yolov8m_20t7_new gun Detection preview by Segmentatation_v8_medium_train_250 gun Detection preview by Segmentation_V11_large_300_train_300 gun Detection preview by Segmentation_v8_large_300_train_300
Original Image: P02721.jpg
GT: knife
knife Detection preview by Box_v11_medium_train_SIXray_OPIXray No objects detected Detection preview by DN_Medium_300_yolov8m_20t7_new knife Detection preview by Segmentatation_v8_medium_train_250 knife Detection preview by Segmentation_V11_large_300_train_300 knife Detection preview by Segmentation_v8_large_300_train_300
Original Image: P02722.jpg
GT: gun
gun Detection preview by Box_v11_medium_train_SIXray_OPIXray No objects detected Detection preview by DN_Medium_300_yolov8m_20t7_new gun Detection preview by Segmentatation_v8_medium_train_250 gun Detection preview by Segmentation_V11_large_300_train_300 gun Detection preview by Segmentation_v8_large_300_train_300
Original Image: P02723.jpg
GT: gun
gun Detection preview by Box_v11_medium_train_SIXray_OPIXray No objects detected Detection preview by DN_Medium_300_yolov8m_20t7_new gun Detection preview by Segmentatation_v8_medium_train_250 gun Detection preview by Segmentation_V11_large_300_train_300 gun Detection preview by Segmentation_v8_large_300_train_300
Original Image: P02724.jpg
GT: knife
knife Detection preview by Box_v11_medium_train_SIXray_OPIXray No objects detected Detection preview by DN_Medium_300_yolov8m_20t7_new knife Detection preview by Segmentatation_v8_medium_train_250 knife Detection preview by Segmentation_V11_large_300_train_300 knife Detection preview by Segmentation_v8_large_300_train_300
Original Image: P02725.jpg
GT: gun
gun Detection preview by Box_v11_medium_train_SIXray_OPIXray No objects detected Detection preview by DN_Medium_300_yolov8m_20t7_new gun Detection preview by Segmentatation_v8_medium_train_250 gun Detection preview by Segmentation_V11_large_300_train_300 gun Detection preview by Segmentation_v8_large_300_train_300
Original Image: P02726.jpg
GT: knife
knife Detection preview by Box_v11_medium_train_SIXray_OPIXray No objects detected Detection preview by DN_Medium_300_yolov8m_20t7_new knife Detection preview by Segmentatation_v8_medium_train_250 knife Detection preview by Segmentation_V11_large_300_train_300 knife Detection preview by Segmentation_v8_large_300_train_300
Original Image: P02727.jpg
GT: knife
knife Detection preview by Box_v11_medium_train_SIXray_OPIXray No objects detected Detection preview by DN_Medium_300_yolov8m_20t7_new knife Detection preview by Segmentatation_v8_medium_train_250 knife Detection preview by Segmentation_V11_large_300_train_300 knife Detection preview by Segmentation_v8_large_300_train_300
Original Image: P02728.jpg
GT: gun
gun Detection preview by Box_v11_medium_train_SIXray_OPIXray No objects detected Detection preview by DN_Medium_300_yolov8m_20t7_new gun Detection preview by Segmentatation_v8_medium_train_250 gun Detection preview by Segmentation_V11_large_300_train_300 gun Detection preview by Segmentation_v8_large_300_train_300
Original Image: P02729.jpg
GT: gun
gun Detection preview by Box_v11_medium_train_SIXray_OPIXray No objects detected Detection preview by DN_Medium_300_yolov8m_20t7_new gun Detection preview by Segmentatation_v8_medium_train_250 gun Detection preview by Segmentation_V11_large_300_train_300 gun Detection preview by Segmentation_v8_large_300_train_300
Original Image: P02730.jpg
GT: knife
knife Detection preview by Box_v11_medium_train_SIXray_OPIXray No objects detected Detection preview by DN_Medium_300_yolov8m_20t7_new knife Detection preview by Segmentatation_v8_medium_train_250 knife Detection preview by Segmentation_V11_large_300_train_300 knife Detection preview by Segmentation_v8_large_300_train_300
Original Image: P02731.jpg
GT: gun
gun Detection preview by Box_v11_medium_train_SIXray_OPIXray gun Detection preview by DN_Medium_300_yolov8m_20t7_new gun Detection preview by Segmentatation_v8_medium_train_250 gun Detection preview by Segmentation_V11_large_300_train_300 gun Detection preview by Segmentation_v8_large_300_train_300
Original Image: P02732.jpg
GT: gun
gun Detection preview by Box_v11_medium_train_SIXray_OPIXray No objects detected Detection preview by DN_Medium_300_yolov8m_20t7_new gun Detection preview by Segmentatation_v8_medium_train_250 gun Detection preview by Segmentation_V11_large_300_train_300 gun Detection preview by Segmentation_v8_large_300_train_300
Original Image: P02733.jpg
GT: gun
gun Detection preview by Box_v11_medium_train_SIXray_OPIXray No objects detected Detection preview by DN_Medium_300_yolov8m_20t7_new gun Detection preview by Segmentatation_v8_medium_train_250 gun Detection preview by Segmentation_V11_large_300_train_300 gun Detection preview by Segmentation_v8_large_300_train_300
Original Image: P02734.jpg
GT: gun
gun Detection preview by Box_v11_medium_train_SIXray_OPIXray gun Detection preview by DN_Medium_300_yolov8m_20t7_new gun Detection preview by Segmentatation_v8_medium_train_250 gun Detection preview by Segmentation_V11_large_300_train_300 gun Detection preview by Segmentation_v8_large_300_train_300
Original Image: P02735.jpg
GT: knife
knife Detection preview by Box_v11_medium_train_SIXray_OPIXray No objects detected Detection preview by DN_Medium_300_yolov8m_20t7_new knife Detection preview by Segmentatation_v8_medium_train_250 knife Detection preview by Segmentation_V11_large_300_train_300 knife Detection preview by Segmentation_v8_large_300_train_300
Original Image: P02736.jpg
GT: knife
knife Detection preview by Box_v11_medium_train_SIXray_OPIXray No objects detected Detection preview by DN_Medium_300_yolov8m_20t7_new knife Detection preview by Segmentatation_v8_medium_train_250 knife Detection preview by Segmentation_V11_large_300_train_300 knife Detection preview by Segmentation_v8_large_300_train_300
Original Image: P02737.jpg
GT: knife
knife Detection preview by Box_v11_medium_train_SIXray_OPIXray No objects detected Detection preview by DN_Medium_300_yolov8m_20t7_new knife Detection preview by Segmentatation_v8_medium_train_250 knife Detection preview by Segmentation_V11_large_300_train_300 knife Detection preview by Segmentation_v8_large_300_train_300
Original Image: P02738.jpg
GT: gun
gun Detection preview by Box_v11_medium_train_SIXray_OPIXray gun Detection preview by DN_Medium_300_yolov8m_20t7_new gun Detection preview by Segmentatation_v8_medium_train_250 gun Detection preview by Segmentation_V11_large_300_train_300 gun Detection preview by Segmentation_v8_large_300_train_300
Original Image: P02739.jpg
GT: gun
gun Detection preview by Box_v11_medium_train_SIXray_OPIXray No objects detected Detection preview by DN_Medium_300_yolov8m_20t7_new gun Detection preview by Segmentatation_v8_medium_train_250 gun Detection preview by Segmentation_V11_large_300_train_300 gun Detection preview by Segmentation_v8_large_300_train_300
Original Image: P02740.jpg
GT: gun, knife
gun, knife Detection preview by Box_v11_medium_train_SIXray_OPIXray No objects detected Detection preview by DN_Medium_300_yolov8m_20t7_new gun, knife Detection preview by Segmentatation_v8_medium_train_250 gun, knife Detection preview by Segmentation_V11_large_300_train_300 gun, knife Detection preview by Segmentation_v8_large_300_train_300
Original Image: P02741.jpg
GT: knife
knife Detection preview by Box_v11_medium_train_SIXray_OPIXray No objects detected Detection preview by DN_Medium_300_yolov8m_20t7_new knife Detection preview by Segmentatation_v8_medium_train_250 knife Detection preview by Segmentation_V11_large_300_train_300 knife Detection preview by Segmentation_v8_large_300_train_300
Original Image: P02742.jpg
GT: gun
gun Detection preview by Box_v11_medium_train_SIXray_OPIXray No objects detected Detection preview by DN_Medium_300_yolov8m_20t7_new gun Detection preview by Segmentatation_v8_medium_train_250 gun Detection preview by Segmentation_V11_large_300_train_300 gun Detection preview by Segmentation_v8_large_300_train_300
Original Image: P02743.jpg
GT: knife
knife Detection preview by Box_v11_medium_train_SIXray_OPIXray No objects detected Detection preview by DN_Medium_300_yolov8m_20t7_new knife Detection preview by Segmentatation_v8_medium_train_250 knife Detection preview by Segmentation_V11_large_300_train_300 knife Detection preview by Segmentation_v8_large_300_train_300
Original Image: P02744.jpg
GT: knife
knife Detection preview by Box_v11_medium_train_SIXray_OPIXray No objects detected Detection preview by DN_Medium_300_yolov8m_20t7_new knife Detection preview by Segmentatation_v8_medium_train_250 knife Detection preview by Segmentation_V11_large_300_train_300 knife Detection preview by Segmentation_v8_large_300_train_300
Original Image: P02745.jpg
GT: knife
knife Detection preview by Box_v11_medium_train_SIXray_OPIXray No objects detected Detection preview by DN_Medium_300_yolov8m_20t7_new knife Detection preview by Segmentatation_v8_medium_train_250 knife Detection preview by Segmentation_V11_large_300_train_300 knife Detection preview by Segmentation_v8_large_300_train_300
Original Image: P02746.jpg
GT: gun
gun Detection preview by Box_v11_medium_train_SIXray_OPIXray No objects detected Detection preview by DN_Medium_300_yolov8m_20t7_new gun Detection preview by Segmentatation_v8_medium_train_250 gun Detection preview by Segmentation_V11_large_300_train_300 gun Detection preview by Segmentation_v8_large_300_train_300
Original Image: P02747.jpg
GT: gun
gun Detection preview by Box_v11_medium_train_SIXray_OPIXray No objects detected Detection preview by DN_Medium_300_yolov8m_20t7_new gun Detection preview by Segmentatation_v8_medium_train_250 gun Detection preview by Segmentation_V11_large_300_train_300 gun Detection preview by Segmentation_v8_large_300_train_300
Original Image: P02748.jpg
GT: knife
knife Detection preview by Box_v11_medium_train_SIXray_OPIXray No objects detected Detection preview by DN_Medium_300_yolov8m_20t7_new knife Detection preview by Segmentatation_v8_medium_train_250 knife Detection preview by Segmentation_V11_large_300_train_300 knife Detection preview by Segmentation_v8_large_300_train_300
Original Image: P02749.jpg
GT: gun, knife
gun, knife Detection preview by Box_v11_medium_train_SIXray_OPIXray No objects detected Detection preview by DN_Medium_300_yolov8m_20t7_new gun, knife Detection preview by Segmentatation_v8_medium_train_250 gun, knife Detection preview by Segmentation_V11_large_300_train_300 gun, knife Detection preview by Segmentation_v8_large_300_train_300
Original Image: P02750.jpg
GT: gun
gun Detection preview by Box_v11_medium_train_SIXray_OPIXray No objects detected Detection preview by DN_Medium_300_yolov8m_20t7_new gun Detection preview by Segmentatation_v8_medium_train_250 gun Detection preview by Segmentation_V11_large_300_train_300 gun Detection preview by Segmentation_v8_large_300_train_300
Original Image: P02751.jpg
GT: gun
gun Detection preview by Box_v11_medium_train_SIXray_OPIXray No objects detected Detection preview by DN_Medium_300_yolov8m_20t7_new gun Detection preview by Segmentatation_v8_medium_train_250 gun Detection preview by Segmentation_V11_large_300_train_300 gun Detection preview by Segmentation_v8_large_300_train_300
Original Image: P02752.jpg
GT: gun
gun Detection preview by Box_v11_medium_train_SIXray_OPIXray No objects detected Detection preview by DN_Medium_300_yolov8m_20t7_new gun Detection preview by Segmentatation_v8_medium_train_250 gun Detection preview by Segmentation_V11_large_300_train_300 gun Detection preview by Segmentation_v8_large_300_train_300
Original Image: P02753.jpg
GT: gun
gun Detection preview by Box_v11_medium_train_SIXray_OPIXray No objects detected Detection preview by DN_Medium_300_yolov8m_20t7_new gun Detection preview by Segmentatation_v8_medium_train_250 gun Detection preview by Segmentation_V11_large_300_train_300 gun Detection preview by Segmentation_v8_large_300_train_300
Original Image: P02754.jpg
GT: knife
knife Detection preview by Box_v11_medium_train_SIXray_OPIXray No objects detected Detection preview by DN_Medium_300_yolov8m_20t7_new knife Detection preview by Segmentatation_v8_medium_train_250 knife Detection preview by Segmentation_V11_large_300_train_300 knife Detection preview by Segmentation_v8_large_300_train_300
Original Image: P02755.jpg
GT: knife
knife Detection preview by Box_v11_medium_train_SIXray_OPIXray No objects detected Detection preview by DN_Medium_300_yolov8m_20t7_new knife Detection preview by Segmentatation_v8_medium_train_250 knife Detection preview by Segmentation_V11_large_300_train_300 knife Detection preview by Segmentation_v8_large_300_train_300
Original Image: P02756.jpg
GT: knife
knife Detection preview by Box_v11_medium_train_SIXray_OPIXray No objects detected Detection preview by DN_Medium_300_yolov8m_20t7_new knife Detection preview by Segmentatation_v8_medium_train_250 knife Detection preview by Segmentation_V11_large_300_train_300 knife Detection preview by Segmentation_v8_large_300_train_300
Original Image: P02757.jpg
GT: gun, knife
gun, knife Detection preview by Box_v11_medium_train_SIXray_OPIXray No objects detected Detection preview by DN_Medium_300_yolov8m_20t7_new gun, knife Detection preview by Segmentatation_v8_medium_train_250 gun, knife Detection preview by Segmentation_V11_large_300_train_300 gun, knife Detection preview by Segmentation_v8_large_300_train_300
Original Image: P02758.jpg
GT: knife
knife Detection preview by Box_v11_medium_train_SIXray_OPIXray No objects detected Detection preview by DN_Medium_300_yolov8m_20t7_new knife Detection preview by Segmentatation_v8_medium_train_250 knife Detection preview by Segmentation_V11_large_300_train_300 knife Detection preview by Segmentation_v8_large_300_train_300
Original Image: P02759.jpg
GT: gun, knife
gun, knife Detection preview by Box_v11_medium_train_SIXray_OPIXray No objects detected Detection preview by DN_Medium_300_yolov8m_20t7_new gun, knife Detection preview by Segmentatation_v8_medium_train_250 gun, knife Detection preview by Segmentation_V11_large_300_train_300 gun, knife Detection preview by Segmentation_v8_large_300_train_300
Original Image: P02760.jpg
GT: gun, knife
gun, knife Detection preview by Box_v11_medium_train_SIXray_OPIXray gun Detection preview by DN_Medium_300_yolov8m_20t7_new gun, knife Detection preview by Segmentatation_v8_medium_train_250 gun, knife Detection preview by Segmentation_V11_large_300_train_300 gun, knife Detection preview by Segmentation_v8_large_300_train_300
Original Image: P02761.jpg
GT: gun, knife
gun, knife Detection preview by Box_v11_medium_train_SIXray_OPIXray gun Detection preview by DN_Medium_300_yolov8m_20t7_new gun, knife Detection preview by Segmentatation_v8_medium_train_250 gun, knife Detection preview by Segmentation_V11_large_300_train_300 gun, knife Detection preview by Segmentation_v8_large_300_train_300
Original Image: P02762.jpg
GT: knife
knife Detection preview by Box_v11_medium_train_SIXray_OPIXray No objects detected Detection preview by DN_Medium_300_yolov8m_20t7_new knife Detection preview by Segmentatation_v8_medium_train_250 knife Detection preview by Segmentation_V11_large_300_train_300 knife Detection preview by Segmentation_v8_large_300_train_300
Original Image: P02763.jpg
GT: knife
knife Detection preview by Box_v11_medium_train_SIXray_OPIXray No objects detected Detection preview by DN_Medium_300_yolov8m_20t7_new knife Detection preview by Segmentatation_v8_medium_train_250 knife Detection preview by Segmentation_V11_large_300_train_300 knife Detection preview by Segmentation_v8_large_300_train_300
Original Image: P02764.jpg
GT: knife
knife Detection preview by Box_v11_medium_train_SIXray_OPIXray No objects detected Detection preview by DN_Medium_300_yolov8m_20t7_new knife Detection preview by Segmentatation_v8_medium_train_250 knife Detection preview by Segmentation_V11_large_300_train_300 knife Detection preview by Segmentation_v8_large_300_train_300
Original Image: P02765.jpg
GT: gun, knife
gun, knife Detection preview by Box_v11_medium_train_SIXray_OPIXray No objects detected Detection preview by DN_Medium_300_yolov8m_20t7_new gun, knife Detection preview by Segmentatation_v8_medium_train_250 gun, knife Detection preview by Segmentation_V11_large_300_train_300 gun, knife Detection preview by Segmentation_v8_large_300_train_300
Original Image: P02766.jpg
GT: knife
knife Detection preview by Box_v11_medium_train_SIXray_OPIXray No objects detected Detection preview by DN_Medium_300_yolov8m_20t7_new knife Detection preview by Segmentatation_v8_medium_train_250 knife Detection preview by Segmentation_V11_large_300_train_300 knife Detection preview by Segmentation_v8_large_300_train_300
Original Image: P02767.jpg
GT: gun, knife
gun, knife Detection preview by Box_v11_medium_train_SIXray_OPIXray No objects detected Detection preview by DN_Medium_300_yolov8m_20t7_new gun, knife Detection preview by Segmentatation_v8_medium_train_250 gun, knife Detection preview by Segmentation_V11_large_300_train_300 gun, knife Detection preview by Segmentation_v8_large_300_train_300
Original Image: P02768.jpg
GT: gun, knife
gun, knife Detection preview by Box_v11_medium_train_SIXray_OPIXray gun Detection preview by DN_Medium_300_yolov8m_20t7_new gun, knife Detection preview by Segmentatation_v8_medium_train_250 gun, knife Detection preview by Segmentation_V11_large_300_train_300 gun, knife Detection preview by Segmentation_v8_large_300_train_300
Original Image: P02769.jpg
GT: knife
knife Detection preview by Box_v11_medium_train_SIXray_OPIXray No objects detected Detection preview by DN_Medium_300_yolov8m_20t7_new knife Detection preview by Segmentatation_v8_medium_train_250 knife Detection preview by Segmentation_V11_large_300_train_300 knife Detection preview by Segmentation_v8_large_300_train_300
Original Image: P02770.jpg
GT: knife
knife Detection preview by Box_v11_medium_train_SIXray_OPIXray No objects detected Detection preview by DN_Medium_300_yolov8m_20t7_new knife Detection preview by Segmentatation_v8_medium_train_250 knife Detection preview by Segmentation_V11_large_300_train_300 knife Detection preview by Segmentation_v8_large_300_train_300
Original Image: P02771.jpg
GT: gun
gun Detection preview by Box_v11_medium_train_SIXray_OPIXray No objects detected Detection preview by DN_Medium_300_yolov8m_20t7_new gun Detection preview by Segmentatation_v8_medium_train_250 gun Detection preview by Segmentation_V11_large_300_train_300 gun Detection preview by Segmentation_v8_large_300_train_300
Original Image: P02772.jpg
GT: gun, knife
gun, knife Detection preview by Box_v11_medium_train_SIXray_OPIXray gun Detection preview by DN_Medium_300_yolov8m_20t7_new gun, knife Detection preview by Segmentatation_v8_medium_train_250 gun, knife Detection preview by Segmentation_V11_large_300_train_300 gun, knife Detection preview by Segmentation_v8_large_300_train_300
Original Image: P02773.jpg
GT: gun, knife
gun, knife Detection preview by Box_v11_medium_train_SIXray_OPIXray No objects detected Detection preview by DN_Medium_300_yolov8m_20t7_new gun, knife Detection preview by Segmentatation_v8_medium_train_250 gun, knife Detection preview by Segmentation_V11_large_300_train_300 gun, knife Detection preview by Segmentation_v8_large_300_train_300
Original Image: P02774.jpg
GT: gun
gun Detection preview by Box_v11_medium_train_SIXray_OPIXray No objects detected Detection preview by DN_Medium_300_yolov8m_20t7_new gun Detection preview by Segmentatation_v8_medium_train_250 gun Detection preview by Segmentation_V11_large_300_train_300 gun Detection preview by Segmentation_v8_large_300_train_300
Original Image: P02775.jpg
GT: knife
knife Detection preview by Box_v11_medium_train_SIXray_OPIXray No objects detected Detection preview by DN_Medium_300_yolov8m_20t7_new knife Detection preview by Segmentatation_v8_medium_train_250 knife Detection preview by Segmentation_V11_large_300_train_300 knife Detection preview by Segmentation_v8_large_300_train_300
Original Image: P02776.jpg
GT: gun, knife
gun, knife Detection preview by Box_v11_medium_train_SIXray_OPIXray No objects detected Detection preview by DN_Medium_300_yolov8m_20t7_new gun, knife Detection preview by Segmentatation_v8_medium_train_250 gun, knife Detection preview by Segmentation_V11_large_300_train_300 gun, knife Detection preview by Segmentation_v8_large_300_train_300
Original Image: P02777.jpg
GT: knife
knife Detection preview by Box_v11_medium_train_SIXray_OPIXray No objects detected Detection preview by DN_Medium_300_yolov8m_20t7_new knife Detection preview by Segmentatation_v8_medium_train_250 knife Detection preview by Segmentation_V11_large_300_train_300 knife Detection preview by Segmentation_v8_large_300_train_300
Original Image: P02778.jpg
GT: gun
gun Detection preview by Box_v11_medium_train_SIXray_OPIXray No objects detected Detection preview by DN_Medium_300_yolov8m_20t7_new gun Detection preview by Segmentatation_v8_medium_train_250 gun Detection preview by Segmentation_V11_large_300_train_300 gun Detection preview by Segmentation_v8_large_300_train_300
Original Image: P02779.jpg
GT: gun
gun Detection preview by Box_v11_medium_train_SIXray_OPIXray No objects detected Detection preview by DN_Medium_300_yolov8m_20t7_new gun Detection preview by Segmentatation_v8_medium_train_250 gun Detection preview by Segmentation_V11_large_300_train_300 gun Detection preview by Segmentation_v8_large_300_train_300
Original Image: P02780.jpg
GT: knife
knife Detection preview by Box_v11_medium_train_SIXray_OPIXray No objects detected Detection preview by DN_Medium_300_yolov8m_20t7_new knife Detection preview by Segmentatation_v8_medium_train_250 knife Detection preview by Segmentation_V11_large_300_train_300 knife Detection preview by Segmentation_v8_large_300_train_300
Original Image: P02781.jpg
GT: gun, knife
gun, knife Detection preview by Box_v11_medium_train_SIXray_OPIXray No objects detected Detection preview by DN_Medium_300_yolov8m_20t7_new gun, knife Detection preview by Segmentatation_v8_medium_train_250 gun, knife Detection preview by Segmentation_V11_large_300_train_300 gun, knife Detection preview by Segmentation_v8_large_300_train_300
Original Image: P02782.jpg
GT: gun, knife
gun, knife Detection preview by Box_v11_medium_train_SIXray_OPIXray No objects detected Detection preview by DN_Medium_300_yolov8m_20t7_new gun, knife Detection preview by Segmentatation_v8_medium_train_250 gun, knife Detection preview by Segmentation_V11_large_300_train_300 gun, knife Detection preview by Segmentation_v8_large_300_train_300
Original Image: P02783.jpg
GT: gun, knife
gun, knife Detection preview by Box_v11_medium_train_SIXray_OPIXray gun Detection preview by DN_Medium_300_yolov8m_20t7_new gun, knife Detection preview by Segmentatation_v8_medium_train_250 gun, knife Detection preview by Segmentation_V11_large_300_train_300 gun, knife Detection preview by Segmentation_v8_large_300_train_300
Original Image: P02784.jpg
GT: gun
gun Detection preview by Box_v11_medium_train_SIXray_OPIXray No objects detected Detection preview by DN_Medium_300_yolov8m_20t7_new gun Detection preview by Segmentatation_v8_medium_train_250 gun Detection preview by Segmentation_V11_large_300_train_300 gun Detection preview by Segmentation_v8_large_300_train_300
Original Image: P02785.jpg
GT: gun, knife
gun, knife Detection preview by Box_v11_medium_train_SIXray_OPIXray gun Detection preview by DN_Medium_300_yolov8m_20t7_new gun, knife Detection preview by Segmentatation_v8_medium_train_250 gun, knife Detection preview by Segmentation_V11_large_300_train_300 gun, knife Detection preview by Segmentation_v8_large_300_train_300
Original Image: P02786.jpg
GT: knife
knife Detection preview by Box_v11_medium_train_SIXray_OPIXray No objects detected Detection preview by DN_Medium_300_yolov8m_20t7_new knife Detection preview by Segmentatation_v8_medium_train_250 knife Detection preview by Segmentation_V11_large_300_train_300 knife Detection preview by Segmentation_v8_large_300_train_300
Original Image: P02787.jpg
GT: knife
knife Detection preview by Box_v11_medium_train_SIXray_OPIXray No objects detected Detection preview by DN_Medium_300_yolov8m_20t7_new knife Detection preview by Segmentatation_v8_medium_train_250 knife Detection preview by Segmentation_V11_large_300_train_300 knife Detection preview by Segmentation_v8_large_300_train_300
Original Image: P02788.jpg
GT: gun
gun Detection preview by Box_v11_medium_train_SIXray_OPIXray No objects detected Detection preview by DN_Medium_300_yolov8m_20t7_new gun Detection preview by Segmentatation_v8_medium_train_250 gun Detection preview by Segmentation_V11_large_300_train_300 gun Detection preview by Segmentation_v8_large_300_train_300
Original Image: P02789.jpg
GT: gun, knife
gun, knife Detection preview by Box_v11_medium_train_SIXray_OPIXray No objects detected Detection preview by DN_Medium_300_yolov8m_20t7_new gun, knife Detection preview by Segmentatation_v8_medium_train_250 gun, knife Detection preview by Segmentation_V11_large_300_train_300 gun, knife Detection preview by Segmentation_v8_large_300_train_300
Original Image: P02790.jpg
GT: knife
knife Detection preview by Box_v11_medium_train_SIXray_OPIXray No objects detected Detection preview by DN_Medium_300_yolov8m_20t7_new knife Detection preview by Segmentatation_v8_medium_train_250 knife Detection preview by Segmentation_V11_large_300_train_300 knife Detection preview by Segmentation_v8_large_300_train_300
Original Image: P02791.jpg
GT: gun
gun Detection preview by Box_v11_medium_train_SIXray_OPIXray No objects detected Detection preview by DN_Medium_300_yolov8m_20t7_new gun Detection preview by Segmentatation_v8_medium_train_250 gun Detection preview by Segmentation_V11_large_300_train_300 gun Detection preview by Segmentation_v8_large_300_train_300
Original Image: P02792.jpg
GT: gun
gun Detection preview by Box_v11_medium_train_SIXray_OPIXray No objects detected Detection preview by DN_Medium_300_yolov8m_20t7_new gun Detection preview by Segmentatation_v8_medium_train_250 gun Detection preview by Segmentation_V11_large_300_train_300 gun Detection preview by Segmentation_v8_large_300_train_300
Original Image: P02793.jpg
GT: gun
gun Detection preview by Box_v11_medium_train_SIXray_OPIXray gun Detection preview by DN_Medium_300_yolov8m_20t7_new gun Detection preview by Segmentatation_v8_medium_train_250 gun Detection preview by Segmentation_V11_large_300_train_300 gun Detection preview by Segmentation_v8_large_300_train_300
Original Image: P02794.jpg
GT: gun
gun Detection preview by Box_v11_medium_train_SIXray_OPIXray No objects detected Detection preview by DN_Medium_300_yolov8m_20t7_new gun Detection preview by Segmentatation_v8_medium_train_250 gun Detection preview by Segmentation_V11_large_300_train_300 gun Detection preview by Segmentation_v8_large_300_train_300
Original Image: P02795.jpg
GT: gun
gun Detection preview by Box_v11_medium_train_SIXray_OPIXray No objects detected Detection preview by DN_Medium_300_yolov8m_20t7_new gun Detection preview by Segmentatation_v8_medium_train_250 gun Detection preview by Segmentation_V11_large_300_train_300 gun Detection preview by Segmentation_v8_large_300_train_300
Original Image: P02796.jpg
GT: gun
gun Detection preview by Box_v11_medium_train_SIXray_OPIXray gun Detection preview by DN_Medium_300_yolov8m_20t7_new gun Detection preview by Segmentatation_v8_medium_train_250 gun Detection preview by Segmentation_V11_large_300_train_300 gun Detection preview by Segmentation_v8_large_300_train_300
Original Image: P02797.jpg
GT: gun, knife
gun, knife Detection preview by Box_v11_medium_train_SIXray_OPIXray No objects detected Detection preview by DN_Medium_300_yolov8m_20t7_new gun, knife Detection preview by Segmentatation_v8_medium_train_250 gun, knife Detection preview by Segmentation_V11_large_300_train_300 gun, knife Detection preview by Segmentation_v8_large_300_train_300
Original Image: P02798.jpg
GT: knife
knife Detection preview by Box_v11_medium_train_SIXray_OPIXray No objects detected Detection preview by DN_Medium_300_yolov8m_20t7_new knife Detection preview by Segmentatation_v8_medium_train_250 knife Detection preview by Segmentation_V11_large_300_train_300 knife Detection preview by Segmentation_v8_large_300_train_300
Original Image: P02799.jpg
GT: gun
gun Detection preview by Box_v11_medium_train_SIXray_OPIXray No objects detected Detection preview by DN_Medium_300_yolov8m_20t7_new gun Detection preview by Segmentatation_v8_medium_train_250 gun Detection preview by Segmentation_V11_large_300_train_300 gun Detection preview by Segmentation_v8_large_300_train_300
Original Image: P02800.jpg
GT: gun, knife
gun, knife Detection preview by Box_v11_medium_train_SIXray_OPIXray No objects detected Detection preview by DN_Medium_300_yolov8m_20t7_new gun, knife Detection preview by Segmentatation_v8_medium_train_250 gun, knife Detection preview by Segmentation_V11_large_300_train_300 gun, knife Detection preview by Segmentation_v8_large_300_train_300
Original Image: P02801.jpg
GT: gun, knife
gun, knife Detection preview by Box_v11_medium_train_SIXray_OPIXray gun Detection preview by DN_Medium_300_yolov8m_20t7_new gun, knife Detection preview by Segmentatation_v8_medium_train_250 gun, knife Detection preview by Segmentation_V11_large_300_train_300 gun, knife Detection preview by Segmentation_v8_large_300_train_300
Original Image: P02802.jpg
GT: knife
knife Detection preview by Box_v11_medium_train_SIXray_OPIXray No objects detected Detection preview by DN_Medium_300_yolov8m_20t7_new knife Detection preview by Segmentatation_v8_medium_train_250 knife Detection preview by Segmentation_V11_large_300_train_300 knife Detection preview by Segmentation_v8_large_300_train_300
Original Image: P02803.jpg
GT: gun
gun Detection preview by Box_v11_medium_train_SIXray_OPIXray No objects detected Detection preview by DN_Medium_300_yolov8m_20t7_new gun Detection preview by Segmentatation_v8_medium_train_250 gun Detection preview by Segmentation_V11_large_300_train_300 gun Detection preview by Segmentation_v8_large_300_train_300
Original Image: P02804.jpg
GT: knife
knife Detection preview by Box_v11_medium_train_SIXray_OPIXray No objects detected Detection preview by DN_Medium_300_yolov8m_20t7_new knife Detection preview by Segmentatation_v8_medium_train_250 knife Detection preview by Segmentation_V11_large_300_train_300 knife Detection preview by Segmentation_v8_large_300_train_300
Original Image: P02805.jpg
GT: gun, knife
gun, knife Detection preview by Box_v11_medium_train_SIXray_OPIXray No objects detected Detection preview by DN_Medium_300_yolov8m_20t7_new gun, knife Detection preview by Segmentatation_v8_medium_train_250 gun, knife Detection preview by Segmentation_V11_large_300_train_300 gun, knife Detection preview by Segmentation_v8_large_300_train_300
Original Image: P02806.jpg
GT: gun
gun Detection preview by Box_v11_medium_train_SIXray_OPIXray No objects detected Detection preview by DN_Medium_300_yolov8m_20t7_new gun Detection preview by Segmentatation_v8_medium_train_250 gun Detection preview by Segmentation_V11_large_300_train_300 gun Detection preview by Segmentation_v8_large_300_train_300
Original Image: P02807.jpg
GT: knife
knife Detection preview by Box_v11_medium_train_SIXray_OPIXray No objects detected Detection preview by DN_Medium_300_yolov8m_20t7_new knife Detection preview by Segmentatation_v8_medium_train_250 knife Detection preview by Segmentation_V11_large_300_train_300 knife Detection preview by Segmentation_v8_large_300_train_300
Original Image: P02808.jpg
GT: gun
gun Detection preview by Box_v11_medium_train_SIXray_OPIXray No objects detected Detection preview by DN_Medium_300_yolov8m_20t7_new gun Detection preview by Segmentatation_v8_medium_train_250 gun Detection preview by Segmentation_V11_large_300_train_300 gun Detection preview by Segmentation_v8_large_300_train_300
Original Image: P02809.jpg
GT: gun, knife
gun, knife Detection preview by Box_v11_medium_train_SIXray_OPIXray No objects detected Detection preview by DN_Medium_300_yolov8m_20t7_new gun, knife Detection preview by Segmentatation_v8_medium_train_250 gun, knife Detection preview by Segmentation_V11_large_300_train_300 gun, knife Detection preview by Segmentation_v8_large_300_train_300
Original Image: P02810.jpg
GT: gun, knife
gun, knife Detection preview by Box_v11_medium_train_SIXray_OPIXray gun Detection preview by DN_Medium_300_yolov8m_20t7_new gun, knife Detection preview by Segmentatation_v8_medium_train_250 gun, knife Detection preview by Segmentation_V11_large_300_train_300 gun, knife Detection preview by Segmentation_v8_large_300_train_300
Original Image: P02811.jpg
GT: knife
knife Detection preview by Box_v11_medium_train_SIXray_OPIXray No objects detected Detection preview by DN_Medium_300_yolov8m_20t7_new knife Detection preview by Segmentatation_v8_medium_train_250 knife Detection preview by Segmentation_V11_large_300_train_300 knife Detection preview by Segmentation_v8_large_300_train_300
Original Image: P02812.jpg
GT: gun
gun Detection preview by Box_v11_medium_train_SIXray_OPIXray No objects detected Detection preview by DN_Medium_300_yolov8m_20t7_new gun Detection preview by Segmentatation_v8_medium_train_250 gun Detection preview by Segmentation_V11_large_300_train_300 gun Detection preview by Segmentation_v8_large_300_train_300
Original Image: P02813.jpg
GT: gun
gun Detection preview by Box_v11_medium_train_SIXray_OPIXray No objects detected Detection preview by DN_Medium_300_yolov8m_20t7_new gun Detection preview by Segmentatation_v8_medium_train_250 gun Detection preview by Segmentation_V11_large_300_train_300 gun Detection preview by Segmentation_v8_large_300_train_300
Original Image: P02814.jpg
GT: gun, knife
gun, knife Detection preview by Box_v11_medium_train_SIXray_OPIXray gun Detection preview by DN_Medium_300_yolov8m_20t7_new gun, knife Detection preview by Segmentatation_v8_medium_train_250 gun, knife Detection preview by Segmentation_V11_large_300_train_300 gun, knife Detection preview by Segmentation_v8_large_300_train_300
Original Image: P02815.jpg
GT: gun, knife
gun, knife Detection preview by Box_v11_medium_train_SIXray_OPIXray No objects detected Detection preview by DN_Medium_300_yolov8m_20t7_new gun, knife Detection preview by Segmentatation_v8_medium_train_250 gun, knife Detection preview by Segmentation_V11_large_300_train_300 gun, knife Detection preview by Segmentation_v8_large_300_train_300
Original Image: P02816.jpg
GT: gun, knife
gun, knife Detection preview by Box_v11_medium_train_SIXray_OPIXray No objects detected Detection preview by DN_Medium_300_yolov8m_20t7_new gun, knife Detection preview by Segmentatation_v8_medium_train_250 gun, knife Detection preview by Segmentation_V11_large_300_train_300 gun, knife Detection preview by Segmentation_v8_large_300_train_300
Original Image: P02817.jpg
GT: gun
gun Detection preview by Box_v11_medium_train_SIXray_OPIXray No objects detected Detection preview by DN_Medium_300_yolov8m_20t7_new gun Detection preview by Segmentatation_v8_medium_train_250 gun Detection preview by Segmentation_V11_large_300_train_300 gun Detection preview by Segmentation_v8_large_300_train_300
Original Image: P02818.jpg
GT: gun
gun Detection preview by Box_v11_medium_train_SIXray_OPIXray No objects detected Detection preview by DN_Medium_300_yolov8m_20t7_new gun Detection preview by Segmentatation_v8_medium_train_250 gun Detection preview by Segmentation_V11_large_300_train_300 gun Detection preview by Segmentation_v8_large_300_train_300
Original Image: P02819.jpg
GT: gun
gun Detection preview by Box_v11_medium_train_SIXray_OPIXray No objects detected Detection preview by DN_Medium_300_yolov8m_20t7_new gun Detection preview by Segmentatation_v8_medium_train_250 gun Detection preview by Segmentation_V11_large_300_train_300 gun Detection preview by Segmentation_v8_large_300_train_300
Original Image: P02820.jpg
GT: gun
gun Detection preview by Box_v11_medium_train_SIXray_OPIXray No objects detected Detection preview by DN_Medium_300_yolov8m_20t7_new gun Detection preview by Segmentatation_v8_medium_train_250 gun Detection preview by Segmentation_V11_large_300_train_300 gun Detection preview by Segmentation_v8_large_300_train_300
Original Image: P02821.jpg
GT: knife
knife Detection preview by Box_v11_medium_train_SIXray_OPIXray No objects detected Detection preview by DN_Medium_300_yolov8m_20t7_new knife Detection preview by Segmentatation_v8_medium_train_250 knife Detection preview by Segmentation_V11_large_300_train_300 knife Detection preview by Segmentation_v8_large_300_train_300
Original Image: P02822.jpg
GT: gun
gun Detection preview by Box_v11_medium_train_SIXray_OPIXray No objects detected Detection preview by DN_Medium_300_yolov8m_20t7_new gun Detection preview by Segmentatation_v8_medium_train_250 gun Detection preview by Segmentation_V11_large_300_train_300 gun Detection preview by Segmentation_v8_large_300_train_300
Original Image: P02823.jpg
GT: knife
knife Detection preview by Box_v11_medium_train_SIXray_OPIXray No objects detected Detection preview by DN_Medium_300_yolov8m_20t7_new knife Detection preview by Segmentatation_v8_medium_train_250 knife Detection preview by Segmentation_V11_large_300_train_300 knife Detection preview by Segmentation_v8_large_300_train_300
Original Image: P02824.jpg
GT: gun, knife
gun, knife Detection preview by Box_v11_medium_train_SIXray_OPIXray No objects detected Detection preview by DN_Medium_300_yolov8m_20t7_new gun, knife Detection preview by Segmentatation_v8_medium_train_250 gun, knife Detection preview by Segmentation_V11_large_300_train_300 gun, knife Detection preview by Segmentation_v8_large_300_train_300
Original Image: P02825.jpg
GT: gun, knife
gun, knife Detection preview by Box_v11_medium_train_SIXray_OPIXray No objects detected Detection preview by DN_Medium_300_yolov8m_20t7_new gun, knife Detection preview by Segmentatation_v8_medium_train_250 gun, knife Detection preview by Segmentation_V11_large_300_train_300 gun, knife Detection preview by Segmentation_v8_large_300_train_300
Original Image: P02826.jpg
GT: gun, knife
gun, knife Detection preview by Box_v11_medium_train_SIXray_OPIXray No objects detected Detection preview by DN_Medium_300_yolov8m_20t7_new gun, knife Detection preview by Segmentatation_v8_medium_train_250 gun, knife Detection preview by Segmentation_V11_large_300_train_300 gun, knife Detection preview by Segmentation_v8_large_300_train_300
Original Image: P02827.jpg
GT: gun
gun Detection preview by Box_v11_medium_train_SIXray_OPIXray No objects detected Detection preview by DN_Medium_300_yolov8m_20t7_new gun Detection preview by Segmentatation_v8_medium_train_250 gun Detection preview by Segmentation_V11_large_300_train_300 gun Detection preview by Segmentation_v8_large_300_train_300
Original Image: P02828.jpg
GT: gun, knife
gun, knife Detection preview by Box_v11_medium_train_SIXray_OPIXray No objects detected Detection preview by DN_Medium_300_yolov8m_20t7_new gun, knife Detection preview by Segmentatation_v8_medium_train_250 gun, knife Detection preview by Segmentation_V11_large_300_train_300 gun, knife Detection preview by Segmentation_v8_large_300_train_300
Original Image: P02829.jpg
GT: knife
knife Detection preview by Box_v11_medium_train_SIXray_OPIXray No objects detected Detection preview by DN_Medium_300_yolov8m_20t7_new knife Detection preview by Segmentatation_v8_medium_train_250 knife Detection preview by Segmentation_V11_large_300_train_300 knife Detection preview by Segmentation_v8_large_300_train_300
Original Image: P02830.jpg
GT: gun
gun Detection preview by Box_v11_medium_train_SIXray_OPIXray No objects detected Detection preview by DN_Medium_300_yolov8m_20t7_new gun Detection preview by Segmentatation_v8_medium_train_250 gun Detection preview by Segmentation_V11_large_300_train_300 gun Detection preview by Segmentation_v8_large_300_train_300
Original Image: P02831.jpg
GT: gun
gun Detection preview by Box_v11_medium_train_SIXray_OPIXray gun Detection preview by DN_Medium_300_yolov8m_20t7_new gun Detection preview by Segmentatation_v8_medium_train_250 gun Detection preview by Segmentation_V11_large_300_train_300 gun Detection preview by Segmentation_v8_large_300_train_300
Original Image: P02832.jpg
GT: knife
knife Detection preview by Box_v11_medium_train_SIXray_OPIXray No objects detected Detection preview by DN_Medium_300_yolov8m_20t7_new knife Detection preview by Segmentatation_v8_medium_train_250 knife Detection preview by Segmentation_V11_large_300_train_300 knife Detection preview by Segmentation_v8_large_300_train_300
Original Image: P02833.jpg
GT: knife
knife Detection preview by Box_v11_medium_train_SIXray_OPIXray No objects detected Detection preview by DN_Medium_300_yolov8m_20t7_new knife Detection preview by Segmentatation_v8_medium_train_250 knife Detection preview by Segmentation_V11_large_300_train_300 knife Detection preview by Segmentation_v8_large_300_train_300
Original Image: P02834.jpg
GT: knife
knife Detection preview by Box_v11_medium_train_SIXray_OPIXray No objects detected Detection preview by DN_Medium_300_yolov8m_20t7_new knife Detection preview by Segmentatation_v8_medium_train_250 knife Detection preview by Segmentation_V11_large_300_train_300 knife Detection preview by Segmentation_v8_large_300_train_300
Original Image: P02835.jpg
GT: gun
gun Detection preview by Box_v11_medium_train_SIXray_OPIXray No objects detected Detection preview by DN_Medium_300_yolov8m_20t7_new gun Detection preview by Segmentatation_v8_medium_train_250 gun Detection preview by Segmentation_V11_large_300_train_300 gun Detection preview by Segmentation_v8_large_300_train_300
Original Image: P02836.jpg
GT: gun, knife
gun, knife Detection preview by Box_v11_medium_train_SIXray_OPIXray gun Detection preview by DN_Medium_300_yolov8m_20t7_new gun, knife Detection preview by Segmentatation_v8_medium_train_250 gun, knife Detection preview by Segmentation_V11_large_300_train_300 gun, knife Detection preview by Segmentation_v8_large_300_train_300
Original Image: P02837.jpg
GT: knife
knife Detection preview by Box_v11_medium_train_SIXray_OPIXray No objects detected Detection preview by DN_Medium_300_yolov8m_20t7_new knife Detection preview by Segmentatation_v8_medium_train_250 knife Detection preview by Segmentation_V11_large_300_train_300 knife Detection preview by Segmentation_v8_large_300_train_300
Original Image: P02838.jpg
GT: gun
gun Detection preview by Box_v11_medium_train_SIXray_OPIXray No objects detected Detection preview by DN_Medium_300_yolov8m_20t7_new gun Detection preview by Segmentatation_v8_medium_train_250 gun Detection preview by Segmentation_V11_large_300_train_300 gun Detection preview by Segmentation_v8_large_300_train_300
Original Image: P02839.jpg
GT: knife
knife Detection preview by Box_v11_medium_train_SIXray_OPIXray No objects detected Detection preview by DN_Medium_300_yolov8m_20t7_new knife Detection preview by Segmentatation_v8_medium_train_250 knife Detection preview by Segmentation_V11_large_300_train_300 knife Detection preview by Segmentation_v8_large_300_train_300
Original Image: P02840.jpg
GT: gun
gun Detection preview by Box_v11_medium_train_SIXray_OPIXray No objects detected Detection preview by DN_Medium_300_yolov8m_20t7_new gun Detection preview by Segmentatation_v8_medium_train_250 gun Detection preview by Segmentation_V11_large_300_train_300 gun Detection preview by Segmentation_v8_large_300_train_300
Original Image: P02841.jpg
GT: gun, knife
gun, knife Detection preview by Box_v11_medium_train_SIXray_OPIXray No objects detected Detection preview by DN_Medium_300_yolov8m_20t7_new gun, knife Detection preview by Segmentatation_v8_medium_train_250 gun, knife Detection preview by Segmentation_V11_large_300_train_300 gun, knife Detection preview by Segmentation_v8_large_300_train_300
Original Image: P02842.jpg
GT: gun, knife
gun, knife Detection preview by Box_v11_medium_train_SIXray_OPIXray No objects detected Detection preview by DN_Medium_300_yolov8m_20t7_new gun, knife Detection preview by Segmentatation_v8_medium_train_250 gun, knife Detection preview by Segmentation_V11_large_300_train_300 gun, knife Detection preview by Segmentation_v8_large_300_train_300
Original Image: P02843.jpg
GT: gun, knife
gun, knife Detection preview by Box_v11_medium_train_SIXray_OPIXray gun Detection preview by DN_Medium_300_yolov8m_20t7_new gun, knife Detection preview by Segmentatation_v8_medium_train_250 gun, knife Detection preview by Segmentation_V11_large_300_train_300 gun, knife Detection preview by Segmentation_v8_large_300_train_300
Original Image: P02844.jpg
GT: gun, knife
gun, knife Detection preview by Box_v11_medium_train_SIXray_OPIXray No objects detected Detection preview by DN_Medium_300_yolov8m_20t7_new gun, knife Detection preview by Segmentatation_v8_medium_train_250 gun, knife Detection preview by Segmentation_V11_large_300_train_300 gun, knife Detection preview by Segmentation_v8_large_300_train_300
Original Image: P02845.jpg
GT: gun, knife
gun, knife Detection preview by Box_v11_medium_train_SIXray_OPIXray No objects detected Detection preview by DN_Medium_300_yolov8m_20t7_new gun, knife Detection preview by Segmentatation_v8_medium_train_250 gun, knife Detection preview by Segmentation_V11_large_300_train_300 gun, knife Detection preview by Segmentation_v8_large_300_train_300
Original Image: P02846.jpg
GT: gun, knife
gun, knife Detection preview by Box_v11_medium_train_SIXray_OPIXray gun Detection preview by DN_Medium_300_yolov8m_20t7_new gun, knife Detection preview by Segmentatation_v8_medium_train_250 gun, knife Detection preview by Segmentation_V11_large_300_train_300 gun, knife Detection preview by Segmentation_v8_large_300_train_300
Original Image: P02847.jpg
GT: knife
knife Detection preview by Box_v11_medium_train_SIXray_OPIXray No objects detected Detection preview by DN_Medium_300_yolov8m_20t7_new knife Detection preview by Segmentatation_v8_medium_train_250 knife Detection preview by Segmentation_V11_large_300_train_300 knife Detection preview by Segmentation_v8_large_300_train_300
Original Image: P02848.jpg
GT: knife
knife Detection preview by Box_v11_medium_train_SIXray_OPIXray No objects detected Detection preview by DN_Medium_300_yolov8m_20t7_new knife Detection preview by Segmentatation_v8_medium_train_250 knife Detection preview by Segmentation_V11_large_300_train_300 knife Detection preview by Segmentation_v8_large_300_train_300
Original Image: P02849.jpg
GT: knife
knife Detection preview by Box_v11_medium_train_SIXray_OPIXray No objects detected Detection preview by DN_Medium_300_yolov8m_20t7_new knife Detection preview by Segmentatation_v8_medium_train_250 knife Detection preview by Segmentation_V11_large_300_train_300 knife Detection preview by Segmentation_v8_large_300_train_300
Original Image: P02850.jpg
GT: knife
knife Detection preview by Box_v11_medium_train_SIXray_OPIXray No objects detected Detection preview by DN_Medium_300_yolov8m_20t7_new knife Detection preview by Segmentatation_v8_medium_train_250 knife Detection preview by Segmentation_V11_large_300_train_300 knife Detection preview by Segmentation_v8_large_300_train_300
Original Image: P02851.jpg
GT: knife
knife Detection preview by Box_v11_medium_train_SIXray_OPIXray No objects detected Detection preview by DN_Medium_300_yolov8m_20t7_new knife Detection preview by Segmentatation_v8_medium_train_250 knife Detection preview by Segmentation_V11_large_300_train_300 knife Detection preview by Segmentation_v8_large_300_train_300
Original Image: P02852.jpg
GT: gun, knife
gun, knife Detection preview by Box_v11_medium_train_SIXray_OPIXray No objects detected Detection preview by DN_Medium_300_yolov8m_20t7_new gun, knife Detection preview by Segmentatation_v8_medium_train_250 gun, knife Detection preview by Segmentation_V11_large_300_train_300 gun, knife Detection preview by Segmentation_v8_large_300_train_300
Original Image: P02853.jpg
GT: knife
knife Detection preview by Box_v11_medium_train_SIXray_OPIXray No objects detected Detection preview by DN_Medium_300_yolov8m_20t7_new knife Detection preview by Segmentatation_v8_medium_train_250 knife Detection preview by Segmentation_V11_large_300_train_300 knife Detection preview by Segmentation_v8_large_300_train_300
Original Image: P02854.jpg
GT: gun, knife
gun, knife Detection preview by Box_v11_medium_train_SIXray_OPIXray No objects detected Detection preview by DN_Medium_300_yolov8m_20t7_new gun, knife Detection preview by Segmentatation_v8_medium_train_250 gun, knife Detection preview by Segmentation_V11_large_300_train_300 gun, knife Detection preview by Segmentation_v8_large_300_train_300
Original Image: P02855.jpg
GT: gun
gun Detection preview by Box_v11_medium_train_SIXray_OPIXray No objects detected Detection preview by DN_Medium_300_yolov8m_20t7_new gun Detection preview by Segmentatation_v8_medium_train_250 gun Detection preview by Segmentation_V11_large_300_train_300 gun Detection preview by Segmentation_v8_large_300_train_300
Original Image: P02856.jpg
GT: knife
knife Detection preview by Box_v11_medium_train_SIXray_OPIXray No objects detected Detection preview by DN_Medium_300_yolov8m_20t7_new knife Detection preview by Segmentatation_v8_medium_train_250 knife Detection preview by Segmentation_V11_large_300_train_300 knife Detection preview by Segmentation_v8_large_300_train_300
Original Image: P02857.jpg
GT: gun
gun Detection preview by Box_v11_medium_train_SIXray_OPIXray No objects detected Detection preview by DN_Medium_300_yolov8m_20t7_new gun Detection preview by Segmentatation_v8_medium_train_250 gun Detection preview by Segmentation_V11_large_300_train_300 gun Detection preview by Segmentation_v8_large_300_train_300
Original Image: P02858.jpg
GT: gun
gun Detection preview by Box_v11_medium_train_SIXray_OPIXray gun Detection preview by DN_Medium_300_yolov8m_20t7_new gun Detection preview by Segmentatation_v8_medium_train_250 gun Detection preview by Segmentation_V11_large_300_train_300 gun Detection preview by Segmentation_v8_large_300_train_300
Original Image: P02859.jpg
GT: gun, knife
gun, knife Detection preview by Box_v11_medium_train_SIXray_OPIXray No objects detected Detection preview by DN_Medium_300_yolov8m_20t7_new gun, knife Detection preview by Segmentatation_v8_medium_train_250 gun, knife Detection preview by Segmentation_V11_large_300_train_300 gun, knife Detection preview by Segmentation_v8_large_300_train_300
Original Image: P02860.jpg
GT: knife
knife Detection preview by Box_v11_medium_train_SIXray_OPIXray No objects detected Detection preview by DN_Medium_300_yolov8m_20t7_new knife Detection preview by Segmentatation_v8_medium_train_250 knife Detection preview by Segmentation_V11_large_300_train_300 knife Detection preview by Segmentation_v8_large_300_train_300
Original Image: P02861.jpg
GT: gun, knife
gun, knife Detection preview by Box_v11_medium_train_SIXray_OPIXray No objects detected Detection preview by DN_Medium_300_yolov8m_20t7_new gun, knife Detection preview by Segmentatation_v8_medium_train_250 gun, knife Detection preview by Segmentation_V11_large_300_train_300 gun, knife Detection preview by Segmentation_v8_large_300_train_300
Original Image: P02862.jpg
GT: knife
knife Detection preview by Box_v11_medium_train_SIXray_OPIXray knife Detection preview by DN_Medium_300_yolov8m_20t7_new knife Detection preview by Segmentatation_v8_medium_train_250 knife Detection preview by Segmentation_V11_large_300_train_300 knife Detection preview by Segmentation_v8_large_300_train_300
Original Image: P02863.jpg
GT: gun, knife
gun, knife Detection preview by Box_v11_medium_train_SIXray_OPIXray No objects detected Detection preview by DN_Medium_300_yolov8m_20t7_new gun, knife Detection preview by Segmentatation_v8_medium_train_250 gun, knife Detection preview by Segmentation_V11_large_300_train_300 gun, knife Detection preview by Segmentation_v8_large_300_train_300
Original Image: P02864.jpg
GT: gun, knife
gun, knife Detection preview by Box_v11_medium_train_SIXray_OPIXray No objects detected Detection preview by DN_Medium_300_yolov8m_20t7_new gun, knife Detection preview by Segmentatation_v8_medium_train_250 gun, knife Detection preview by Segmentation_V11_large_300_train_300 gun, knife Detection preview by Segmentation_v8_large_300_train_300
Original Image: P02865.jpg
GT: knife
knife Detection preview by Box_v11_medium_train_SIXray_OPIXray No objects detected Detection preview by DN_Medium_300_yolov8m_20t7_new knife Detection preview by Segmentatation_v8_medium_train_250 knife Detection preview by Segmentation_V11_large_300_train_300 knife Detection preview by Segmentation_v8_large_300_train_300
Original Image: P02866.jpg
GT: gun
gun Detection preview by Box_v11_medium_train_SIXray_OPIXray No objects detected Detection preview by DN_Medium_300_yolov8m_20t7_new gun Detection preview by Segmentatation_v8_medium_train_250 gun Detection preview by Segmentation_V11_large_300_train_300 gun Detection preview by Segmentation_v8_large_300_train_300
Original Image: P02867.jpg
GT: gun
gun Detection preview by Box_v11_medium_train_SIXray_OPIXray No objects detected Detection preview by DN_Medium_300_yolov8m_20t7_new gun Detection preview by Segmentatation_v8_medium_train_250 gun Detection preview by Segmentation_V11_large_300_train_300 gun Detection preview by Segmentation_v8_large_300_train_300
Original Image: P02868.jpg
GT: gun
gun Detection preview by Box_v11_medium_train_SIXray_OPIXray No objects detected Detection preview by DN_Medium_300_yolov8m_20t7_new gun Detection preview by Segmentatation_v8_medium_train_250 gun Detection preview by Segmentation_V11_large_300_train_300 gun Detection preview by Segmentation_v8_large_300_train_300
Original Image: P02869.jpg
GT: gun
gun Detection preview by Box_v11_medium_train_SIXray_OPIXray No objects detected Detection preview by DN_Medium_300_yolov8m_20t7_new gun Detection preview by Segmentatation_v8_medium_train_250 gun Detection preview by Segmentation_V11_large_300_train_300 gun Detection preview by Segmentation_v8_large_300_train_300
Original Image: P02870.jpg
GT: gun, knife
gun, knife Detection preview by Box_v11_medium_train_SIXray_OPIXray No objects detected Detection preview by DN_Medium_300_yolov8m_20t7_new gun, knife Detection preview by Segmentatation_v8_medium_train_250 gun, knife Detection preview by Segmentation_V11_large_300_train_300 gun, knife Detection preview by Segmentation_v8_large_300_train_300
Original Image: P02871.jpg
GT: gun, knife
gun, knife Detection preview by Box_v11_medium_train_SIXray_OPIXray gun Detection preview by DN_Medium_300_yolov8m_20t7_new gun, knife Detection preview by Segmentatation_v8_medium_train_250 gun, knife Detection preview by Segmentation_V11_large_300_train_300 gun, knife Detection preview by Segmentation_v8_large_300_train_300
Original Image: P02872.jpg
GT: gun, knife
gun, knife Detection preview by Box_v11_medium_train_SIXray_OPIXray gun Detection preview by DN_Medium_300_yolov8m_20t7_new gun, knife Detection preview by Segmentatation_v8_medium_train_250 gun, knife Detection preview by Segmentation_V11_large_300_train_300 gun, knife Detection preview by Segmentation_v8_large_300_train_300
Original Image: P02873.jpg
GT: gun
gun Detection preview by Box_v11_medium_train_SIXray_OPIXray No objects detected Detection preview by DN_Medium_300_yolov8m_20t7_new gun Detection preview by Segmentatation_v8_medium_train_250 gun Detection preview by Segmentation_V11_large_300_train_300 gun Detection preview by Segmentation_v8_large_300_train_300
Original Image: P02874.jpg
GT: gun
gun Detection preview by Box_v11_medium_train_SIXray_OPIXray No objects detected Detection preview by DN_Medium_300_yolov8m_20t7_new gun Detection preview by Segmentatation_v8_medium_train_250 gun Detection preview by Segmentation_V11_large_300_train_300 gun Detection preview by Segmentation_v8_large_300_train_300
Original Image: P02875.jpg
GT: gun
gun Detection preview by Box_v11_medium_train_SIXray_OPIXray No objects detected Detection preview by DN_Medium_300_yolov8m_20t7_new gun Detection preview by Segmentatation_v8_medium_train_250 gun Detection preview by Segmentation_V11_large_300_train_300 gun Detection preview by Segmentation_v8_large_300_train_300
Original Image: P02876.jpg
GT: gun
gun Detection preview by Box_v11_medium_train_SIXray_OPIXray No objects detected Detection preview by DN_Medium_300_yolov8m_20t7_new gun Detection preview by Segmentatation_v8_medium_train_250 gun Detection preview by Segmentation_V11_large_300_train_300 gun Detection preview by Segmentation_v8_large_300_train_300
Original Image: P02877.jpg
GT: gun, knife
gun, knife Detection preview by Box_v11_medium_train_SIXray_OPIXray No objects detected Detection preview by DN_Medium_300_yolov8m_20t7_new gun, knife Detection preview by Segmentatation_v8_medium_train_250 gun, knife Detection preview by Segmentation_V11_large_300_train_300 gun, knife Detection preview by Segmentation_v8_large_300_train_300
Original Image: P02878.jpg
GT: gun
gun Detection preview by Box_v11_medium_train_SIXray_OPIXray No objects detected Detection preview by DN_Medium_300_yolov8m_20t7_new gun Detection preview by Segmentatation_v8_medium_train_250 gun Detection preview by Segmentation_V11_large_300_train_300 gun Detection preview by Segmentation_v8_large_300_train_300
Original Image: P02879.jpg
GT: gun, knife
gun, knife Detection preview by Box_v11_medium_train_SIXray_OPIXray No objects detected Detection preview by DN_Medium_300_yolov8m_20t7_new gun, knife Detection preview by Segmentatation_v8_medium_train_250 gun, knife Detection preview by Segmentation_V11_large_300_train_300 gun, knife Detection preview by Segmentation_v8_large_300_train_300
Original Image: P02880.jpg
GT: gun
gun Detection preview by Box_v11_medium_train_SIXray_OPIXray No objects detected Detection preview by DN_Medium_300_yolov8m_20t7_new gun Detection preview by Segmentatation_v8_medium_train_250 gun Detection preview by Segmentation_V11_large_300_train_300 gun Detection preview by Segmentation_v8_large_300_train_300
Original Image: P02881.jpg
GT: gun
gun Detection preview by Box_v11_medium_train_SIXray_OPIXray No objects detected Detection preview by DN_Medium_300_yolov8m_20t7_new gun Detection preview by Segmentatation_v8_medium_train_250 gun Detection preview by Segmentation_V11_large_300_train_300 gun Detection preview by Segmentation_v8_large_300_train_300
Original Image: P02882.jpg
GT: gun, knife
gun, knife Detection preview by Box_v11_medium_train_SIXray_OPIXray No objects detected Detection preview by DN_Medium_300_yolov8m_20t7_new gun, knife Detection preview by Segmentatation_v8_medium_train_250 gun, knife Detection preview by Segmentation_V11_large_300_train_300 gun, knife Detection preview by Segmentation_v8_large_300_train_300
Original Image: P02883.jpg
GT: gun
gun Detection preview by Box_v11_medium_train_SIXray_OPIXray No objects detected Detection preview by DN_Medium_300_yolov8m_20t7_new gun Detection preview by Segmentatation_v8_medium_train_250 gun Detection preview by Segmentation_V11_large_300_train_300 gun Detection preview by Segmentation_v8_large_300_train_300
Original Image: P02884.jpg
GT: gun, knife
gun, knife Detection preview by Box_v11_medium_train_SIXray_OPIXray No objects detected Detection preview by DN_Medium_300_yolov8m_20t7_new gun, knife Detection preview by Segmentatation_v8_medium_train_250 gun, knife Detection preview by Segmentation_V11_large_300_train_300 gun, knife Detection preview by Segmentation_v8_large_300_train_300
Original Image: P02885.jpg
GT: gun
gun Detection preview by Box_v11_medium_train_SIXray_OPIXray No objects detected Detection preview by DN_Medium_300_yolov8m_20t7_new gun Detection preview by Segmentatation_v8_medium_train_250 gun Detection preview by Segmentation_V11_large_300_train_300 gun Detection preview by Segmentation_v8_large_300_train_300
Original Image: P02886.jpg
GT: gun
gun Detection preview by Box_v11_medium_train_SIXray_OPIXray No objects detected Detection preview by DN_Medium_300_yolov8m_20t7_new gun Detection preview by Segmentatation_v8_medium_train_250 gun Detection preview by Segmentation_V11_large_300_train_300 gun Detection preview by Segmentation_v8_large_300_train_300
Original Image: P02887.jpg
GT: gun
gun Detection preview by Box_v11_medium_train_SIXray_OPIXray gun Detection preview by DN_Medium_300_yolov8m_20t7_new gun Detection preview by Segmentatation_v8_medium_train_250 gun Detection preview by Segmentation_V11_large_300_train_300 gun Detection preview by Segmentation_v8_large_300_train_300
Original Image: P02888.jpg
GT: gun
gun Detection preview by Box_v11_medium_train_SIXray_OPIXray No objects detected Detection preview by DN_Medium_300_yolov8m_20t7_new gun Detection preview by Segmentatation_v8_medium_train_250 gun Detection preview by Segmentation_V11_large_300_train_300 gun Detection preview by Segmentation_v8_large_300_train_300
Original Image: P02889.jpg
GT: gun, knife
gun, knife Detection preview by Box_v11_medium_train_SIXray_OPIXray No objects detected Detection preview by DN_Medium_300_yolov8m_20t7_new gun, knife Detection preview by Segmentatation_v8_medium_train_250 gun, knife Detection preview by Segmentation_V11_large_300_train_300 gun, knife Detection preview by Segmentation_v8_large_300_train_300
Original Image: P02890.jpg
GT: gun
gun Detection preview by Box_v11_medium_train_SIXray_OPIXray No objects detected Detection preview by DN_Medium_300_yolov8m_20t7_new gun Detection preview by Segmentatation_v8_medium_train_250 gun Detection preview by Segmentation_V11_large_300_train_300 gun Detection preview by Segmentation_v8_large_300_train_300
Original Image: P02891.jpg
GT: gun, knife
gun, knife Detection preview by Box_v11_medium_train_SIXray_OPIXray gun Detection preview by DN_Medium_300_yolov8m_20t7_new gun, knife Detection preview by Segmentatation_v8_medium_train_250 gun, knife Detection preview by Segmentation_V11_large_300_train_300 gun, knife Detection preview by Segmentation_v8_large_300_train_300
Original Image: P02892.jpg
GT: gun, knife
gun, knife Detection preview by Box_v11_medium_train_SIXray_OPIXray No objects detected Detection preview by DN_Medium_300_yolov8m_20t7_new gun, knife Detection preview by Segmentatation_v8_medium_train_250 gun, knife Detection preview by Segmentation_V11_large_300_train_300 gun, knife Detection preview by Segmentation_v8_large_300_train_300
Original Image: P02893.jpg
GT: gun, knife
gun, knife Detection preview by Box_v11_medium_train_SIXray_OPIXray No objects detected Detection preview by DN_Medium_300_yolov8m_20t7_new gun, knife Detection preview by Segmentatation_v8_medium_train_250 gun, knife Detection preview by Segmentation_V11_large_300_train_300 gun, knife Detection preview by Segmentation_v8_large_300_train_300
Original Image: P02894.jpg
GT: gun
gun Detection preview by Box_v11_medium_train_SIXray_OPIXray No objects detected Detection preview by DN_Medium_300_yolov8m_20t7_new gun, knife Detection preview by Segmentatation_v8_medium_train_250 gun, knife Detection preview by Segmentation_V11_large_300_train_300 gun, knife Detection preview by Segmentation_v8_large_300_train_300
Original Image: P02895.jpg
GT: gun
gun Detection preview by Box_v11_medium_train_SIXray_OPIXray gun Detection preview by DN_Medium_300_yolov8m_20t7_new gun Detection preview by Segmentatation_v8_medium_train_250 gun Detection preview by Segmentation_V11_large_300_train_300 gun Detection preview by Segmentation_v8_large_300_train_300
Original Image: P02896.jpg
GT: gun
gun Detection preview by Box_v11_medium_train_SIXray_OPIXray No objects detected Detection preview by DN_Medium_300_yolov8m_20t7_new gun Detection preview by Segmentatation_v8_medium_train_250 gun Detection preview by Segmentation_V11_large_300_train_300 gun Detection preview by Segmentation_v8_large_300_train_300
Original Image: P02897.jpg
GT: gun, knife
gun, knife Detection preview by Box_v11_medium_train_SIXray_OPIXray No objects detected Detection preview by DN_Medium_300_yolov8m_20t7_new gun, knife Detection preview by Segmentatation_v8_medium_train_250 gun, knife Detection preview by Segmentation_V11_large_300_train_300 gun, knife Detection preview by Segmentation_v8_large_300_train_300
Original Image: P02898.jpg
GT: gun
gun Detection preview by Box_v11_medium_train_SIXray_OPIXray No objects detected Detection preview by DN_Medium_300_yolov8m_20t7_new gun Detection preview by Segmentatation_v8_medium_train_250 gun Detection preview by Segmentation_V11_large_300_train_300 gun Detection preview by Segmentation_v8_large_300_train_300
Original Image: P02899.jpg
GT: gun, knife
gun, knife Detection preview by Box_v11_medium_train_SIXray_OPIXray No objects detected Detection preview by DN_Medium_300_yolov8m_20t7_new gun, knife Detection preview by Segmentatation_v8_medium_train_250 gun, knife Detection preview by Segmentation_V11_large_300_train_300 gun, knife Detection preview by Segmentation_v8_large_300_train_300
Original Image: P02900.jpg
GT: gun, knife
gun, knife Detection preview by Box_v11_medium_train_SIXray_OPIXray No objects detected Detection preview by DN_Medium_300_yolov8m_20t7_new gun, knife Detection preview by Segmentatation_v8_medium_train_250 gun, knife Detection preview by Segmentation_V11_large_300_train_300 gun, knife Detection preview by Segmentation_v8_large_300_train_300
Original Image: P02901.jpg
GT: gun
gun Detection preview by Box_v11_medium_train_SIXray_OPIXray No objects detected Detection preview by DN_Medium_300_yolov8m_20t7_new gun Detection preview by Segmentatation_v8_medium_train_250 gun Detection preview by Segmentation_V11_large_300_train_300 gun Detection preview by Segmentation_v8_large_300_train_300
Original Image: P02902.jpg
GT: gun, knife
gun, knife Detection preview by Box_v11_medium_train_SIXray_OPIXray No objects detected Detection preview by DN_Medium_300_yolov8m_20t7_new gun, knife Detection preview by Segmentatation_v8_medium_train_250 gun, knife Detection preview by Segmentation_V11_large_300_train_300 gun, knife Detection preview by Segmentation_v8_large_300_train_300
Original Image: P02903.jpg
GT: gun, knife
gun, knife Detection preview by Box_v11_medium_train_SIXray_OPIXray No objects detected Detection preview by DN_Medium_300_yolov8m_20t7_new gun, knife Detection preview by Segmentatation_v8_medium_train_250 gun, knife Detection preview by Segmentation_V11_large_300_train_300 gun, knife Detection preview by Segmentation_v8_large_300_train_300
Original Image: P02904.jpg
GT: gun
gun Detection preview by Box_v11_medium_train_SIXray_OPIXray No objects detected Detection preview by DN_Medium_300_yolov8m_20t7_new gun Detection preview by Segmentatation_v8_medium_train_250 gun Detection preview by Segmentation_V11_large_300_train_300 gun Detection preview by Segmentation_v8_large_300_train_300
Original Image: P02905.jpg
GT: gun
gun Detection preview by Box_v11_medium_train_SIXray_OPIXray No objects detected Detection preview by DN_Medium_300_yolov8m_20t7_new gun Detection preview by Segmentatation_v8_medium_train_250 gun Detection preview by Segmentation_V11_large_300_train_300 gun Detection preview by Segmentation_v8_large_300_train_300
Original Image: P02906.jpg
GT: gun, knife
gun, knife Detection preview by Box_v11_medium_train_SIXray_OPIXray No objects detected Detection preview by DN_Medium_300_yolov8m_20t7_new gun, knife Detection preview by Segmentatation_v8_medium_train_250 gun, knife Detection preview by Segmentation_V11_large_300_train_300 gun, knife Detection preview by Segmentation_v8_large_300_train_300
Original Image: P02907.jpg
GT: gun
gun Detection preview by Box_v11_medium_train_SIXray_OPIXray No objects detected Detection preview by DN_Medium_300_yolov8m_20t7_new gun Detection preview by Segmentatation_v8_medium_train_250 gun Detection preview by Segmentation_V11_large_300_train_300 gun Detection preview by Segmentation_v8_large_300_train_300
Original Image: P02908.jpg
GT: gun
gun Detection preview by Box_v11_medium_train_SIXray_OPIXray No objects detected Detection preview by DN_Medium_300_yolov8m_20t7_new gun Detection preview by Segmentatation_v8_medium_train_250 gun Detection preview by Segmentation_V11_large_300_train_300 gun Detection preview by Segmentation_v8_large_300_train_300
Original Image: P02909.jpg
GT: gun
gun Detection preview by Box_v11_medium_train_SIXray_OPIXray No objects detected Detection preview by DN_Medium_300_yolov8m_20t7_new gun Detection preview by Segmentatation_v8_medium_train_250 gun Detection preview by Segmentation_V11_large_300_train_300 gun Detection preview by Segmentation_v8_large_300_train_300
Original Image: P02910.jpg
GT: gun
gun Detection preview by Box_v11_medium_train_SIXray_OPIXray No objects detected Detection preview by DN_Medium_300_yolov8m_20t7_new gun Detection preview by Segmentatation_v8_medium_train_250 gun Detection preview by Segmentation_V11_large_300_train_300 gun Detection preview by Segmentation_v8_large_300_train_300
Original Image: P02911.jpg
GT: gun
gun Detection preview by Box_v11_medium_train_SIXray_OPIXray No objects detected Detection preview by DN_Medium_300_yolov8m_20t7_new gun Detection preview by Segmentatation_v8_medium_train_250 gun Detection preview by Segmentation_V11_large_300_train_300 gun Detection preview by Segmentation_v8_large_300_train_300
Original Image: P02912.jpg
GT: gun
gun Detection preview by Box_v11_medium_train_SIXray_OPIXray No objects detected Detection preview by DN_Medium_300_yolov8m_20t7_new gun Detection preview by Segmentatation_v8_medium_train_250 gun Detection preview by Segmentation_V11_large_300_train_300 gun Detection preview by Segmentation_v8_large_300_train_300
Original Image: P02913.jpg
GT: gun
gun Detection preview by Box_v11_medium_train_SIXray_OPIXray No objects detected Detection preview by DN_Medium_300_yolov8m_20t7_new gun Detection preview by Segmentatation_v8_medium_train_250 gun Detection preview by Segmentation_V11_large_300_train_300 gun Detection preview by Segmentation_v8_large_300_train_300
Original Image: P02914.jpg
GT: gun
gun Detection preview by Box_v11_medium_train_SIXray_OPIXray No objects detected Detection preview by DN_Medium_300_yolov8m_20t7_new gun Detection preview by Segmentatation_v8_medium_train_250 gun Detection preview by Segmentation_V11_large_300_train_300 gun Detection preview by Segmentation_v8_large_300_train_300
Original Image: P02915.jpg
GT: gun
gun Detection preview by Box_v11_medium_train_SIXray_OPIXray No objects detected Detection preview by DN_Medium_300_yolov8m_20t7_new gun Detection preview by Segmentatation_v8_medium_train_250 gun Detection preview by Segmentation_V11_large_300_train_300 gun Detection preview by Segmentation_v8_large_300_train_300
Original Image: P02916.jpg
GT: gun
gun Detection preview by Box_v11_medium_train_SIXray_OPIXray No objects detected Detection preview by DN_Medium_300_yolov8m_20t7_new gun Detection preview by Segmentatation_v8_medium_train_250 gun Detection preview by Segmentation_V11_large_300_train_300 gun Detection preview by Segmentation_v8_large_300_train_300
Original Image: P02917.jpg
GT: gun
gun Detection preview by Box_v11_medium_train_SIXray_OPIXray gun Detection preview by DN_Medium_300_yolov8m_20t7_new gun Detection preview by Segmentatation_v8_medium_train_250 gun Detection preview by Segmentation_V11_large_300_train_300 gun Detection preview by Segmentation_v8_large_300_train_300
Original Image: P02918.jpg
GT: gun
gun Detection preview by Box_v11_medium_train_SIXray_OPIXray No objects detected Detection preview by DN_Medium_300_yolov8m_20t7_new gun Detection preview by Segmentatation_v8_medium_train_250 gun Detection preview by Segmentation_V11_large_300_train_300 gun Detection preview by Segmentation_v8_large_300_train_300
Original Image: P02919.jpg
GT: gun
gun Detection preview by Box_v11_medium_train_SIXray_OPIXray No objects detected Detection preview by DN_Medium_300_yolov8m_20t7_new gun Detection preview by Segmentatation_v8_medium_train_250 gun Detection preview by Segmentation_V11_large_300_train_300 gun Detection preview by Segmentation_v8_large_300_train_300
Original Image: P02920.jpg
GT: gun, knife
gun, knife Detection preview by Box_v11_medium_train_SIXray_OPIXray No objects detected Detection preview by DN_Medium_300_yolov8m_20t7_new gun, knife Detection preview by Segmentatation_v8_medium_train_250 gun, knife Detection preview by Segmentation_V11_large_300_train_300 gun, knife Detection preview by Segmentation_v8_large_300_train_300
Original Image: P02921.jpg
GT: gun
gun Detection preview by Box_v11_medium_train_SIXray_OPIXray No objects detected Detection preview by DN_Medium_300_yolov8m_20t7_new gun Detection preview by Segmentatation_v8_medium_train_250 gun Detection preview by Segmentation_V11_large_300_train_300 gun Detection preview by Segmentation_v8_large_300_train_300
Original Image: P02922.jpg
GT: gun, knife
gun, knife Detection preview by Box_v11_medium_train_SIXray_OPIXray No objects detected Detection preview by DN_Medium_300_yolov8m_20t7_new gun, knife Detection preview by Segmentatation_v8_medium_train_250 gun, knife Detection preview by Segmentation_V11_large_300_train_300 gun, knife Detection preview by Segmentation_v8_large_300_train_300
Original Image: P02923.jpg
GT: gun, knife
gun, knife Detection preview by Box_v11_medium_train_SIXray_OPIXray No objects detected Detection preview by DN_Medium_300_yolov8m_20t7_new gun, knife Detection preview by Segmentatation_v8_medium_train_250 gun, knife Detection preview by Segmentation_V11_large_300_train_300 gun, knife Detection preview by Segmentation_v8_large_300_train_300
Original Image: P02924.jpg
GT: gun, knife
gun, knife Detection preview by Box_v11_medium_train_SIXray_OPIXray No objects detected Detection preview by DN_Medium_300_yolov8m_20t7_new gun, knife Detection preview by Segmentatation_v8_medium_train_250 gun, knife Detection preview by Segmentation_V11_large_300_train_300 gun, knife Detection preview by Segmentation_v8_large_300_train_300
Original Image: P02925.jpg
GT: gun
gun Detection preview by Box_v11_medium_train_SIXray_OPIXray No objects detected Detection preview by DN_Medium_300_yolov8m_20t7_new gun Detection preview by Segmentatation_v8_medium_train_250 gun Detection preview by Segmentation_V11_large_300_train_300 gun Detection preview by Segmentation_v8_large_300_train_300
Original Image: P02926.jpg
GT: gun
gun Detection preview by Box_v11_medium_train_SIXray_OPIXray gun Detection preview by DN_Medium_300_yolov8m_20t7_new gun Detection preview by Segmentatation_v8_medium_train_250 gun Detection preview by Segmentation_V11_large_300_train_300 gun Detection preview by Segmentation_v8_large_300_train_300
Original Image: P02927.jpg
GT: gun, knife
gun, knife Detection preview by Box_v11_medium_train_SIXray_OPIXray No objects detected Detection preview by DN_Medium_300_yolov8m_20t7_new gun, knife Detection preview by Segmentatation_v8_medium_train_250 gun, knife Detection preview by Segmentation_V11_large_300_train_300 gun, knife Detection preview by Segmentation_v8_large_300_train_300
Original Image: P02928.jpg
GT: gun, knife
gun, knife Detection preview by Box_v11_medium_train_SIXray_OPIXray gun Detection preview by DN_Medium_300_yolov8m_20t7_new gun, knife Detection preview by Segmentatation_v8_medium_train_250 gun, knife Detection preview by Segmentation_V11_large_300_train_300 gun, knife Detection preview by Segmentation_v8_large_300_train_300
Original Image: P02929.jpg
GT: gun
gun Detection preview by Box_v11_medium_train_SIXray_OPIXray No objects detected Detection preview by DN_Medium_300_yolov8m_20t7_new gun Detection preview by Segmentatation_v8_medium_train_250 gun Detection preview by Segmentation_V11_large_300_train_300 gun Detection preview by Segmentation_v8_large_300_train_300
Original Image: P02930.jpg
GT: gun, knife
gun, knife Detection preview by Box_v11_medium_train_SIXray_OPIXray gun Detection preview by DN_Medium_300_yolov8m_20t7_new gun, knife Detection preview by Segmentatation_v8_medium_train_250 gun, knife Detection preview by Segmentation_V11_large_300_train_300 gun, knife Detection preview by Segmentation_v8_large_300_train_300
Original Image: P02931.jpg
GT: gun
gun Detection preview by Box_v11_medium_train_SIXray_OPIXray No objects detected Detection preview by DN_Medium_300_yolov8m_20t7_new gun Detection preview by Segmentatation_v8_medium_train_250 gun Detection preview by Segmentation_V11_large_300_train_300 gun Detection preview by Segmentation_v8_large_300_train_300
Original Image: P02932.jpg
GT: gun, knife
gun, knife Detection preview by Box_v11_medium_train_SIXray_OPIXray gun Detection preview by DN_Medium_300_yolov8m_20t7_new gun, knife Detection preview by Segmentatation_v8_medium_train_250 gun, knife Detection preview by Segmentation_V11_large_300_train_300 gun, knife Detection preview by Segmentation_v8_large_300_train_300
Original Image: P02933.jpg
GT: gun
gun Detection preview by Box_v11_medium_train_SIXray_OPIXray gun Detection preview by DN_Medium_300_yolov8m_20t7_new gun Detection preview by Segmentatation_v8_medium_train_250 gun Detection preview by Segmentation_V11_large_300_train_300 gun Detection preview by Segmentation_v8_large_300_train_300
Original Image: P02934.jpg
GT: gun, knife
gun, knife Detection preview by Box_v11_medium_train_SIXray_OPIXray No objects detected Detection preview by DN_Medium_300_yolov8m_20t7_new gun, knife Detection preview by Segmentatation_v8_medium_train_250 gun, knife Detection preview by Segmentation_V11_large_300_train_300 gun, knife Detection preview by Segmentation_v8_large_300_train_300
Original Image: P02935.jpg
GT: gun, knife
gun, knife Detection preview by Box_v11_medium_train_SIXray_OPIXray gun Detection preview by DN_Medium_300_yolov8m_20t7_new gun, knife Detection preview by Segmentatation_v8_medium_train_250 gun, knife Detection preview by Segmentation_V11_large_300_train_300 gun, knife Detection preview by Segmentation_v8_large_300_train_300
Original Image: P02936.jpg
GT: gun, knife
gun, knife Detection preview by Box_v11_medium_train_SIXray_OPIXray No objects detected Detection preview by DN_Medium_300_yolov8m_20t7_new gun, knife Detection preview by Segmentatation_v8_medium_train_250 gun, knife Detection preview by Segmentation_V11_large_300_train_300 gun, knife Detection preview by Segmentation_v8_large_300_train_300
Original Image: P02937.jpg
GT: gun, knife
gun, knife Detection preview by Box_v11_medium_train_SIXray_OPIXray No objects detected Detection preview by DN_Medium_300_yolov8m_20t7_new gun, knife Detection preview by Segmentatation_v8_medium_train_250 gun, knife Detection preview by Segmentation_V11_large_300_train_300 gun, knife Detection preview by Segmentation_v8_large_300_train_300
Original Image: P02938.jpg
GT: gun, knife
gun, knife Detection preview by Box_v11_medium_train_SIXray_OPIXray gun Detection preview by DN_Medium_300_yolov8m_20t7_new gun, knife Detection preview by Segmentatation_v8_medium_train_250 gun, knife Detection preview by Segmentation_V11_large_300_train_300 gun, knife Detection preview by Segmentation_v8_large_300_train_300
Original Image: P02939.jpg
GT: gun, knife
gun, knife Detection preview by Box_v11_medium_train_SIXray_OPIXray gun Detection preview by DN_Medium_300_yolov8m_20t7_new gun, knife Detection preview by Segmentatation_v8_medium_train_250 gun, knife Detection preview by Segmentation_V11_large_300_train_300 gun, knife Detection preview by Segmentation_v8_large_300_train_300
Original Image: P02940.jpg
GT: gun
gun Detection preview by Box_v11_medium_train_SIXray_OPIXray No objects detected Detection preview by DN_Medium_300_yolov8m_20t7_new gun Detection preview by Segmentatation_v8_medium_train_250 gun Detection preview by Segmentation_V11_large_300_train_300 gun Detection preview by Segmentation_v8_large_300_train_300
Original Image: P02941.jpg
GT: gun, knife
gun, knife Detection preview by Box_v11_medium_train_SIXray_OPIXray gun Detection preview by DN_Medium_300_yolov8m_20t7_new gun, knife Detection preview by Segmentatation_v8_medium_train_250 gun, knife Detection preview by Segmentation_V11_large_300_train_300 gun, knife Detection preview by Segmentation_v8_large_300_train_300
Original Image: P02942.jpg
GT: gun, knife
gun, knife Detection preview by Box_v11_medium_train_SIXray_OPIXray No objects detected Detection preview by DN_Medium_300_yolov8m_20t7_new gun, knife Detection preview by Segmentatation_v8_medium_train_250 gun, knife Detection preview by Segmentation_V11_large_300_train_300 gun, knife Detection preview by Segmentation_v8_large_300_train_300
Original Image: P02943.jpg
GT: gun, knife
gun, knife Detection preview by Box_v11_medium_train_SIXray_OPIXray gun Detection preview by DN_Medium_300_yolov8m_20t7_new gun, knife Detection preview by Segmentatation_v8_medium_train_250 gun, knife Detection preview by Segmentation_V11_large_300_train_300 gun, knife Detection preview by Segmentation_v8_large_300_train_300
Original Image: P02944.jpg
GT: gun
gun Detection preview by Box_v11_medium_train_SIXray_OPIXray No objects detected Detection preview by DN_Medium_300_yolov8m_20t7_new gun Detection preview by Segmentatation_v8_medium_train_250 gun Detection preview by Segmentation_V11_large_300_train_300 gun Detection preview by Segmentation_v8_large_300_train_300
Original Image: P02945.jpg
GT: gun, knife
gun, knife Detection preview by Box_v11_medium_train_SIXray_OPIXray No objects detected Detection preview by DN_Medium_300_yolov8m_20t7_new gun, knife Detection preview by Segmentatation_v8_medium_train_250 gun, knife Detection preview by Segmentation_V11_large_300_train_300 gun, knife Detection preview by Segmentation_v8_large_300_train_300
Original Image: P02946.jpg
GT: gun
gun Detection preview by Box_v11_medium_train_SIXray_OPIXray No objects detected Detection preview by DN_Medium_300_yolov8m_20t7_new gun Detection preview by Segmentatation_v8_medium_train_250 gun Detection preview by Segmentation_V11_large_300_train_300 gun Detection preview by Segmentation_v8_large_300_train_300
Original Image: P02947.jpg
GT: gun
gun Detection preview by Box_v11_medium_train_SIXray_OPIXray No objects detected Detection preview by DN_Medium_300_yolov8m_20t7_new gun Detection preview by Segmentatation_v8_medium_train_250 gun Detection preview by Segmentation_V11_large_300_train_300 gun Detection preview by Segmentation_v8_large_300_train_300
Original Image: P02948.jpg
GT: gun, knife
gun, knife Detection preview by Box_v11_medium_train_SIXray_OPIXray gun Detection preview by DN_Medium_300_yolov8m_20t7_new gun, knife Detection preview by Segmentatation_v8_medium_train_250 gun, knife Detection preview by Segmentation_V11_large_300_train_300 gun, knife Detection preview by Segmentation_v8_large_300_train_300
Original Image: P02949.jpg
GT: gun
gun Detection preview by Box_v11_medium_train_SIXray_OPIXray No objects detected Detection preview by DN_Medium_300_yolov8m_20t7_new gun Detection preview by Segmentatation_v8_medium_train_250 gun Detection preview by Segmentation_V11_large_300_train_300 gun Detection preview by Segmentation_v8_large_300_train_300
Original Image: P02950.jpg
GT: gun
gun Detection preview by Box_v11_medium_train_SIXray_OPIXray No objects detected Detection preview by DN_Medium_300_yolov8m_20t7_new gun Detection preview by Segmentatation_v8_medium_train_250 gun Detection preview by Segmentation_V11_large_300_train_300 gun Detection preview by Segmentation_v8_large_300_train_300
Original Image: P02951.jpg
GT: gun, knife
gun, knife Detection preview by Box_v11_medium_train_SIXray_OPIXray No objects detected Detection preview by DN_Medium_300_yolov8m_20t7_new gun, knife Detection preview by Segmentatation_v8_medium_train_250 gun, knife Detection preview by Segmentation_V11_large_300_train_300 gun, knife Detection preview by Segmentation_v8_large_300_train_300
Original Image: P02952.jpg
GT: gun
gun Detection preview by Box_v11_medium_train_SIXray_OPIXray No objects detected Detection preview by DN_Medium_300_yolov8m_20t7_new gun Detection preview by Segmentatation_v8_medium_train_250 gun Detection preview by Segmentation_V11_large_300_train_300 gun Detection preview by Segmentation_v8_large_300_train_300
Original Image: P02953.jpg
GT: gun, knife
gun, knife Detection preview by Box_v11_medium_train_SIXray_OPIXray gun Detection preview by DN_Medium_300_yolov8m_20t7_new gun, knife Detection preview by Segmentatation_v8_medium_train_250 gun, knife Detection preview by Segmentation_V11_large_300_train_300 gun, knife Detection preview by Segmentation_v8_large_300_train_300
Original Image: P02954.jpg
GT: gun
gun Detection preview by Box_v11_medium_train_SIXray_OPIXray No objects detected Detection preview by DN_Medium_300_yolov8m_20t7_new gun Detection preview by Segmentatation_v8_medium_train_250 gun Detection preview by Segmentation_V11_large_300_train_300 gun Detection preview by Segmentation_v8_large_300_train_300
Original Image: P02955.jpg
GT: gun, knife
gun, knife Detection preview by Box_v11_medium_train_SIXray_OPIXray gun Detection preview by DN_Medium_300_yolov8m_20t7_new gun, knife Detection preview by Segmentatation_v8_medium_train_250 gun, knife Detection preview by Segmentation_V11_large_300_train_300 gun, knife Detection preview by Segmentation_v8_large_300_train_300
Original Image: P02956.jpg
GT: gun
gun Detection preview by Box_v11_medium_train_SIXray_OPIXray No objects detected Detection preview by DN_Medium_300_yolov8m_20t7_new gun Detection preview by Segmentatation_v8_medium_train_250 gun Detection preview by Segmentation_V11_large_300_train_300 gun Detection preview by Segmentation_v8_large_300_train_300
Original Image: P02957.jpg
GT: gun, knife
gun, knife Detection preview by Box_v11_medium_train_SIXray_OPIXray gun Detection preview by DN_Medium_300_yolov8m_20t7_new gun, knife Detection preview by Segmentatation_v8_medium_train_250 gun, knife Detection preview by Segmentation_V11_large_300_train_300 gun, knife Detection preview by Segmentation_v8_large_300_train_300
Original Image: P02958.jpg
GT: gun, knife
gun, knife Detection preview by Box_v11_medium_train_SIXray_OPIXray gun Detection preview by DN_Medium_300_yolov8m_20t7_new gun, knife Detection preview by Segmentatation_v8_medium_train_250 gun, knife Detection preview by Segmentation_V11_large_300_train_300 gun, knife Detection preview by Segmentation_v8_large_300_train_300
Original Image: P02959.jpg
GT: gun, knife
gun, knife Detection preview by Box_v11_medium_train_SIXray_OPIXray gun Detection preview by DN_Medium_300_yolov8m_20t7_new gun, knife Detection preview by Segmentatation_v8_medium_train_250 gun, knife Detection preview by Segmentation_V11_large_300_train_300 gun, knife Detection preview by Segmentation_v8_large_300_train_300
Original Image: P02960.jpg
GT: gun
gun Detection preview by Box_v11_medium_train_SIXray_OPIXray No objects detected Detection preview by DN_Medium_300_yolov8m_20t7_new gun Detection preview by Segmentatation_v8_medium_train_250 gun Detection preview by Segmentation_V11_large_300_train_300 gun Detection preview by Segmentation_v8_large_300_train_300
Original Image: P02961.jpg
GT: gun, knife
gun, knife Detection preview by Box_v11_medium_train_SIXray_OPIXray gun Detection preview by DN_Medium_300_yolov8m_20t7_new gun, knife Detection preview by Segmentatation_v8_medium_train_250 gun, knife Detection preview by Segmentation_V11_large_300_train_300 gun, knife Detection preview by Segmentation_v8_large_300_train_300
Original Image: P02962.jpg
GT: gun, knife
gun, knife Detection preview by Box_v11_medium_train_SIXray_OPIXray gun Detection preview by DN_Medium_300_yolov8m_20t7_new gun, knife Detection preview by Segmentatation_v8_medium_train_250 gun, knife Detection preview by Segmentation_V11_large_300_train_300 gun, knife Detection preview by Segmentation_v8_large_300_train_300
Original Image: P02963.jpg
GT: gun
gun Detection preview by Box_v11_medium_train_SIXray_OPIXray No objects detected Detection preview by DN_Medium_300_yolov8m_20t7_new gun Detection preview by Segmentatation_v8_medium_train_250 gun Detection preview by Segmentation_V11_large_300_train_300 gun Detection preview by Segmentation_v8_large_300_train_300
Original Image: P02964.jpg
GT: gun
gun Detection preview by Box_v11_medium_train_SIXray_OPIXray No objects detected Detection preview by DN_Medium_300_yolov8m_20t7_new gun Detection preview by Segmentatation_v8_medium_train_250 gun Detection preview by Segmentation_V11_large_300_train_300 gun Detection preview by Segmentation_v8_large_300_train_300
Original Image: P02965.jpg
GT: gun, knife
gun, knife Detection preview by Box_v11_medium_train_SIXray_OPIXray gun Detection preview by DN_Medium_300_yolov8m_20t7_new gun, knife Detection preview by Segmentatation_v8_medium_train_250 gun, knife Detection preview by Segmentation_V11_large_300_train_300 gun, knife Detection preview by Segmentation_v8_large_300_train_300
Original Image: P02966.jpg
GT: gun, knife
gun, knife Detection preview by Box_v11_medium_train_SIXray_OPIXray gun Detection preview by DN_Medium_300_yolov8m_20t7_new gun, knife Detection preview by Segmentatation_v8_medium_train_250 gun, knife Detection preview by Segmentation_V11_large_300_train_300 gun, knife Detection preview by Segmentation_v8_large_300_train_300
Original Image: P02967.jpg
GT: gun
gun Detection preview by Box_v11_medium_train_SIXray_OPIXray No objects detected Detection preview by DN_Medium_300_yolov8m_20t7_new gun Detection preview by Segmentatation_v8_medium_train_250 gun Detection preview by Segmentation_V11_large_300_train_300 gun Detection preview by Segmentation_v8_large_300_train_300
Original Image: P02968.jpg
GT: gun
gun Detection preview by Box_v11_medium_train_SIXray_OPIXray No objects detected Detection preview by DN_Medium_300_yolov8m_20t7_new gun Detection preview by Segmentatation_v8_medium_train_250 gun Detection preview by Segmentation_V11_large_300_train_300 gun Detection preview by Segmentation_v8_large_300_train_300
Original Image: P02969.jpg
GT: gun
gun Detection preview by Box_v11_medium_train_SIXray_OPIXray No objects detected Detection preview by DN_Medium_300_yolov8m_20t7_new gun Detection preview by Segmentatation_v8_medium_train_250 gun Detection preview by Segmentation_V11_large_300_train_300 gun Detection preview by Segmentation_v8_large_300_train_300
Original Image: P02970.jpg
GT: gun
gun Detection preview by Box_v11_medium_train_SIXray_OPIXray No objects detected Detection preview by DN_Medium_300_yolov8m_20t7_new gun Detection preview by Segmentatation_v8_medium_train_250 gun Detection preview by Segmentation_V11_large_300_train_300 gun Detection preview by Segmentation_v8_large_300_train_300
Original Image: P02971.jpg
GT: gun, knife
gun, knife Detection preview by Box_v11_medium_train_SIXray_OPIXray gun Detection preview by DN_Medium_300_yolov8m_20t7_new gun, knife Detection preview by Segmentatation_v8_medium_train_250 gun, knife Detection preview by Segmentation_V11_large_300_train_300 gun, knife Detection preview by Segmentation_v8_large_300_train_300
Original Image: P02972.jpg
GT: gun
gun Detection preview by Box_v11_medium_train_SIXray_OPIXray No objects detected Detection preview by DN_Medium_300_yolov8m_20t7_new gun Detection preview by Segmentatation_v8_medium_train_250 gun Detection preview by Segmentation_V11_large_300_train_300 gun Detection preview by Segmentation_v8_large_300_train_300
Original Image: P02973.jpg
GT: gun, knife
gun, knife Detection preview by Box_v11_medium_train_SIXray_OPIXray gun Detection preview by DN_Medium_300_yolov8m_20t7_new gun, knife Detection preview by Segmentatation_v8_medium_train_250 gun, knife Detection preview by Segmentation_V11_large_300_train_300 gun, knife Detection preview by Segmentation_v8_large_300_train_300
Original Image: P02974.jpg
GT: gun, knife
gun, knife Detection preview by Box_v11_medium_train_SIXray_OPIXray gun Detection preview by DN_Medium_300_yolov8m_20t7_new gun, knife Detection preview by Segmentatation_v8_medium_train_250 gun, knife Detection preview by Segmentation_V11_large_300_train_300 gun, knife Detection preview by Segmentation_v8_large_300_train_300
Original Image: P02975.jpg
GT: gun, knife
gun, knife Detection preview by Box_v11_medium_train_SIXray_OPIXray gun Detection preview by DN_Medium_300_yolov8m_20t7_new gun, knife Detection preview by Segmentatation_v8_medium_train_250 gun, knife Detection preview by Segmentation_V11_large_300_train_300 gun, knife Detection preview by Segmentation_v8_large_300_train_300
Original Image: P02976.jpg
GT: gun, knife
gun, knife Detection preview by Box_v11_medium_train_SIXray_OPIXray gun Detection preview by DN_Medium_300_yolov8m_20t7_new gun, knife Detection preview by Segmentatation_v8_medium_train_250 gun, knife Detection preview by Segmentation_V11_large_300_train_300 gun, knife Detection preview by Segmentation_v8_large_300_train_300
Original Image: P02977.jpg
GT: gun
gun Detection preview by Box_v11_medium_train_SIXray_OPIXray No objects detected Detection preview by DN_Medium_300_yolov8m_20t7_new gun Detection preview by Segmentatation_v8_medium_train_250 gun Detection preview by Segmentation_V11_large_300_train_300 gun Detection preview by Segmentation_v8_large_300_train_300
Original Image: P02978.jpg
GT: gun, knife
gun, knife Detection preview by Box_v11_medium_train_SIXray_OPIXray gun Detection preview by DN_Medium_300_yolov8m_20t7_new gun, knife Detection preview by Segmentatation_v8_medium_train_250 gun, knife Detection preview by Segmentation_V11_large_300_train_300 gun, knife Detection preview by Segmentation_v8_large_300_train_300
Original Image: P02979.jpg
GT: gun
gun Detection preview by Box_v11_medium_train_SIXray_OPIXray No objects detected Detection preview by DN_Medium_300_yolov8m_20t7_new gun Detection preview by Segmentatation_v8_medium_train_250 gun Detection preview by Segmentation_V11_large_300_train_300 gun Detection preview by Segmentation_v8_large_300_train_300
Original Image: P02980.jpg
GT: gun, knife
gun, knife Detection preview by Box_v11_medium_train_SIXray_OPIXray gun Detection preview by DN_Medium_300_yolov8m_20t7_new gun, knife Detection preview by Segmentatation_v8_medium_train_250 gun, knife Detection preview by Segmentation_V11_large_300_train_300 gun, knife Detection preview by Segmentation_v8_large_300_train_300
Original Image: P02981.jpg
GT: gun, knife
gun, knife Detection preview by Box_v11_medium_train_SIXray_OPIXray No objects detected Detection preview by DN_Medium_300_yolov8m_20t7_new gun, knife Detection preview by Segmentatation_v8_medium_train_250 gun, knife Detection preview by Segmentation_V11_large_300_train_300 gun, knife Detection preview by Segmentation_v8_large_300_train_300
Original Image: P02982.jpg
GT: gun, knife
gun, knife Detection preview by Box_v11_medium_train_SIXray_OPIXray No objects detected Detection preview by DN_Medium_300_yolov8m_20t7_new gun, knife Detection preview by Segmentatation_v8_medium_train_250 gun, knife Detection preview by Segmentation_V11_large_300_train_300 gun, knife Detection preview by Segmentation_v8_large_300_train_300
Original Image: P02983.jpg
GT: gun
gun Detection preview by Box_v11_medium_train_SIXray_OPIXray gun Detection preview by DN_Medium_300_yolov8m_20t7_new gun Detection preview by Segmentatation_v8_medium_train_250 gun Detection preview by Segmentation_V11_large_300_train_300 gun Detection preview by Segmentation_v8_large_300_train_300
Original Image: P02984.jpg
GT: gun, knife
gun, knife Detection preview by Box_v11_medium_train_SIXray_OPIXray No objects detected Detection preview by DN_Medium_300_yolov8m_20t7_new gun, knife Detection preview by Segmentatation_v8_medium_train_250 gun, knife Detection preview by Segmentation_V11_large_300_train_300 gun, knife Detection preview by Segmentation_v8_large_300_train_300
Original Image: P02985.jpg
GT: gun, knife
gun, knife Detection preview by Box_v11_medium_train_SIXray_OPIXray gun Detection preview by DN_Medium_300_yolov8m_20t7_new gun, knife Detection preview by Segmentatation_v8_medium_train_250 gun, knife Detection preview by Segmentation_V11_large_300_train_300 gun, knife Detection preview by Segmentation_v8_large_300_train_300
Original Image: P02986.jpg
GT: gun, knife
gun, knife Detection preview by Box_v11_medium_train_SIXray_OPIXray gun Detection preview by DN_Medium_300_yolov8m_20t7_new gun, knife Detection preview by Segmentatation_v8_medium_train_250 gun, knife Detection preview by Segmentation_V11_large_300_train_300 gun, knife Detection preview by Segmentation_v8_large_300_train_300
Original Image: P02987.jpg
GT: gun, knife
gun, knife Detection preview by Box_v11_medium_train_SIXray_OPIXray gun Detection preview by DN_Medium_300_yolov8m_20t7_new gun, knife Detection preview by Segmentatation_v8_medium_train_250 gun, knife Detection preview by Segmentation_V11_large_300_train_300 gun, knife Detection preview by Segmentation_v8_large_300_train_300
Original Image: P02988.jpg
GT: gun, knife
gun, knife Detection preview by Box_v11_medium_train_SIXray_OPIXray gun Detection preview by DN_Medium_300_yolov8m_20t7_new gun, knife Detection preview by Segmentatation_v8_medium_train_250 gun, knife Detection preview by Segmentation_V11_large_300_train_300 gun, knife Detection preview by Segmentation_v8_large_300_train_300
Original Image: P02989.jpg
GT: gun, knife
gun, knife Detection preview by Box_v11_medium_train_SIXray_OPIXray gun Detection preview by DN_Medium_300_yolov8m_20t7_new gun, knife Detection preview by Segmentatation_v8_medium_train_250 gun, knife Detection preview by Segmentation_V11_large_300_train_300 gun, knife Detection preview by Segmentation_v8_large_300_train_300
Original Image: P02990.jpg
GT: gun, knife
gun, knife Detection preview by Box_v11_medium_train_SIXray_OPIXray gun Detection preview by DN_Medium_300_yolov8m_20t7_new gun, knife Detection preview by Segmentatation_v8_medium_train_250 gun, knife Detection preview by Segmentation_V11_large_300_train_300 gun, knife Detection preview by Segmentation_v8_large_300_train_300
Original Image: P02991.jpg
GT: gun
gun Detection preview by Box_v11_medium_train_SIXray_OPIXray No objects detected Detection preview by DN_Medium_300_yolov8m_20t7_new gun Detection preview by Segmentatation_v8_medium_train_250 gun Detection preview by Segmentation_V11_large_300_train_300 gun Detection preview by Segmentation_v8_large_300_train_300
Original Image: P02992.jpg
GT: gun, knife
gun, knife Detection preview by Box_v11_medium_train_SIXray_OPIXray gun Detection preview by DN_Medium_300_yolov8m_20t7_new gun, knife Detection preview by Segmentatation_v8_medium_train_250 gun, knife Detection preview by Segmentation_V11_large_300_train_300 gun, knife Detection preview by Segmentation_v8_large_300_train_300
Original Image: P02993.jpg
GT: gun, knife
gun, knife Detection preview by Box_v11_medium_train_SIXray_OPIXray gun Detection preview by DN_Medium_300_yolov8m_20t7_new gun, knife Detection preview by Segmentatation_v8_medium_train_250 gun, knife Detection preview by Segmentation_V11_large_300_train_300 gun, knife Detection preview by Segmentation_v8_large_300_train_300
Original Image: P02994.jpg
GT: gun
gun Detection preview by Box_v11_medium_train_SIXray_OPIXray No objects detected Detection preview by DN_Medium_300_yolov8m_20t7_new gun Detection preview by Segmentatation_v8_medium_train_250 gun Detection preview by Segmentation_V11_large_300_train_300 gun Detection preview by Segmentation_v8_large_300_train_300
Original Image: P02995.jpg
GT: gun
gun Detection preview by Box_v11_medium_train_SIXray_OPIXray No objects detected Detection preview by DN_Medium_300_yolov8m_20t7_new gun Detection preview by Segmentatation_v8_medium_train_250 gun Detection preview by Segmentation_V11_large_300_train_300 gun Detection preview by Segmentation_v8_large_300_train_300
Original Image: P02996.jpg
GT: gun
gun Detection preview by Box_v11_medium_train_SIXray_OPIXray No objects detected Detection preview by DN_Medium_300_yolov8m_20t7_new gun Detection preview by Segmentatation_v8_medium_train_250 gun Detection preview by Segmentation_V11_large_300_train_300 gun Detection preview by Segmentation_v8_large_300_train_300
Original Image: P02997.jpg
GT: gun, knife
gun, knife Detection preview by Box_v11_medium_train_SIXray_OPIXray gun Detection preview by DN_Medium_300_yolov8m_20t7_new gun, knife Detection preview by Segmentatation_v8_medium_train_250 gun, knife Detection preview by Segmentation_V11_large_300_train_300 gun, knife Detection preview by Segmentation_v8_large_300_train_300
Original Image: P02998.jpg
GT: gun
gun Detection preview by Box_v11_medium_train_SIXray_OPIXray No objects detected Detection preview by DN_Medium_300_yolov8m_20t7_new gun Detection preview by Segmentatation_v8_medium_train_250 gun Detection preview by Segmentation_V11_large_300_train_300 gun Detection preview by Segmentation_v8_large_300_train_300
Original Image: P02999.jpg
GT: gun, knife
gun, knife Detection preview by Box_v11_medium_train_SIXray_OPIXray gun Detection preview by DN_Medium_300_yolov8m_20t7_new gun, knife Detection preview by Segmentatation_v8_medium_train_250 gun, knife Detection preview by Segmentation_V11_large_300_train_300 gun, knife Detection preview by Segmentation_v8_large_300_train_300
Original Image: P03000.jpg
GT: gun, knife
gun, knife Detection preview by Box_v11_medium_train_SIXray_OPIXray gun Detection preview by DN_Medium_300_yolov8m_20t7_new gun, knife Detection preview by Segmentatation_v8_medium_train_250 gun, knife Detection preview by Segmentation_V11_large_300_train_300 gun, knife Detection preview by Segmentation_v8_large_300_train_300
Original Image: P03001.jpg
GT: gun, knife
gun, knife Detection preview by Box_v11_medium_train_SIXray_OPIXray No objects detected Detection preview by DN_Medium_300_yolov8m_20t7_new gun, knife Detection preview by Segmentatation_v8_medium_train_250 gun, knife Detection preview by Segmentation_V11_large_300_train_300 gun, knife Detection preview by Segmentation_v8_large_300_train_300
Original Image: P03002.jpg
GT: gun
gun Detection preview by Box_v11_medium_train_SIXray_OPIXray No objects detected Detection preview by DN_Medium_300_yolov8m_20t7_new gun Detection preview by Segmentatation_v8_medium_train_250 gun Detection preview by Segmentation_V11_large_300_train_300 gun Detection preview by Segmentation_v8_large_300_train_300
Original Image: P03003.jpg
GT: gun, knife
gun, knife Detection preview by Box_v11_medium_train_SIXray_OPIXray gun Detection preview by DN_Medium_300_yolov8m_20t7_new gun, knife Detection preview by Segmentatation_v8_medium_train_250 gun, knife Detection preview by Segmentation_V11_large_300_train_300 gun, knife Detection preview by Segmentation_v8_large_300_train_300
Original Image: P03004.jpg
GT: gun, knife
gun, knife Detection preview by Box_v11_medium_train_SIXray_OPIXray gun Detection preview by DN_Medium_300_yolov8m_20t7_new gun, knife Detection preview by Segmentatation_v8_medium_train_250 gun, knife Detection preview by Segmentation_V11_large_300_train_300 gun, knife Detection preview by Segmentation_v8_large_300_train_300
Original Image: P03005.jpg
GT: gun, knife
gun, knife Detection preview by Box_v11_medium_train_SIXray_OPIXray gun Detection preview by DN_Medium_300_yolov8m_20t7_new gun, knife Detection preview by Segmentatation_v8_medium_train_250 gun, knife Detection preview by Segmentation_V11_large_300_train_300 gun, knife Detection preview by Segmentation_v8_large_300_train_300
Original Image: P03006.jpg
GT: gun, knife
gun, knife Detection preview by Box_v11_medium_train_SIXray_OPIXray gun Detection preview by DN_Medium_300_yolov8m_20t7_new gun, knife Detection preview by Segmentatation_v8_medium_train_250 gun, knife Detection preview by Segmentation_V11_large_300_train_300 gun, knife Detection preview by Segmentation_v8_large_300_train_300
Original Image: P03007.jpg
GT: gun
gun Detection preview by Box_v11_medium_train_SIXray_OPIXray No objects detected Detection preview by DN_Medium_300_yolov8m_20t7_new gun Detection preview by Segmentatation_v8_medium_train_250 gun Detection preview by Segmentation_V11_large_300_train_300 gun Detection preview by Segmentation_v8_large_300_train_300
Original Image: P03008.jpg
GT: gun, knife
gun, knife Detection preview by Box_v11_medium_train_SIXray_OPIXray gun Detection preview by DN_Medium_300_yolov8m_20t7_new gun, knife Detection preview by Segmentatation_v8_medium_train_250 gun, knife Detection preview by Segmentation_V11_large_300_train_300 gun, knife Detection preview by Segmentation_v8_large_300_train_300
Original Image: P03009.jpg
GT: gun, knife
gun, knife Detection preview by Box_v11_medium_train_SIXray_OPIXray gun Detection preview by DN_Medium_300_yolov8m_20t7_new gun, knife Detection preview by Segmentatation_v8_medium_train_250 gun, knife Detection preview by Segmentation_V11_large_300_train_300 gun, knife Detection preview by Segmentation_v8_large_300_train_300
Original Image: P03010.jpg
GT: gun
gun Detection preview by Box_v11_medium_train_SIXray_OPIXray No objects detected Detection preview by DN_Medium_300_yolov8m_20t7_new gun Detection preview by Segmentatation_v8_medium_train_250 gun Detection preview by Segmentation_V11_large_300_train_300 gun Detection preview by Segmentation_v8_large_300_train_300
Original Image: P03011.jpg
GT: gun, knife
gun, knife Detection preview by Box_v11_medium_train_SIXray_OPIXray gun Detection preview by DN_Medium_300_yolov8m_20t7_new gun, knife Detection preview by Segmentatation_v8_medium_train_250 gun, knife Detection preview by Segmentation_V11_large_300_train_300 gun, knife Detection preview by Segmentation_v8_large_300_train_300
Original Image: P03012.jpg
GT: gun, knife
gun, knife Detection preview by Box_v11_medium_train_SIXray_OPIXray No objects detected Detection preview by DN_Medium_300_yolov8m_20t7_new gun, knife Detection preview by Segmentatation_v8_medium_train_250 gun, knife Detection preview by Segmentation_V11_large_300_train_300 gun, knife Detection preview by Segmentation_v8_large_300_train_300
Original Image: P03013.jpg
GT: gun
gun Detection preview by Box_v11_medium_train_SIXray_OPIXray No objects detected Detection preview by DN_Medium_300_yolov8m_20t7_new gun Detection preview by Segmentatation_v8_medium_train_250 gun Detection preview by Segmentation_V11_large_300_train_300 gun Detection preview by Segmentation_v8_large_300_train_300
Original Image: P03014.jpg
GT: gun
gun Detection preview by Box_v11_medium_train_SIXray_OPIXray No objects detected Detection preview by DN_Medium_300_yolov8m_20t7_new gun Detection preview by Segmentatation_v8_medium_train_250 gun Detection preview by Segmentation_V11_large_300_train_300 gun Detection preview by Segmentation_v8_large_300_train_300
Original Image: P03015.jpg
GT: gun, knife
gun, knife Detection preview by Box_v11_medium_train_SIXray_OPIXray gun Detection preview by DN_Medium_300_yolov8m_20t7_new gun, knife Detection preview by Segmentatation_v8_medium_train_250 gun, knife Detection preview by Segmentation_V11_large_300_train_300 gun, knife Detection preview by Segmentation_v8_large_300_train_300
Original Image: P03016.jpg
GT: gun, knife
gun, knife Detection preview by Box_v11_medium_train_SIXray_OPIXray No objects detected Detection preview by DN_Medium_300_yolov8m_20t7_new gun, knife Detection preview by Segmentatation_v8_medium_train_250 gun, knife Detection preview by Segmentation_V11_large_300_train_300 gun, knife Detection preview by Segmentation_v8_large_300_train_300
Original Image: P03017.jpg
GT: gun
gun Detection preview by Box_v11_medium_train_SIXray_OPIXray No objects detected Detection preview by DN_Medium_300_yolov8m_20t7_new gun Detection preview by Segmentatation_v8_medium_train_250 gun Detection preview by Segmentation_V11_large_300_train_300 gun Detection preview by Segmentation_v8_large_300_train_300
Original Image: P03018.jpg
GT: gun, knife
gun, knife Detection preview by Box_v11_medium_train_SIXray_OPIXray No objects detected Detection preview by DN_Medium_300_yolov8m_20t7_new gun, knife Detection preview by Segmentatation_v8_medium_train_250 gun, knife Detection preview by Segmentation_V11_large_300_train_300 gun, knife Detection preview by Segmentation_v8_large_300_train_300
Original Image: P03019.jpg
GT: gun, knife
gun, knife Detection preview by Box_v11_medium_train_SIXray_OPIXray No objects detected Detection preview by DN_Medium_300_yolov8m_20t7_new gun, knife Detection preview by Segmentatation_v8_medium_train_250 gun, knife Detection preview by Segmentation_V11_large_300_train_300 gun, knife Detection preview by Segmentation_v8_large_300_train_300
Original Image: P03020.jpg
GT: gun, knife
gun, knife Detection preview by Box_v11_medium_train_SIXray_OPIXray gun Detection preview by DN_Medium_300_yolov8m_20t7_new gun, knife Detection preview by Segmentatation_v8_medium_train_250 gun, knife Detection preview by Segmentation_V11_large_300_train_300 gun, knife Detection preview by Segmentation_v8_large_300_train_300
Original Image: P03021.jpg
GT: gun, knife
gun, knife Detection preview by Box_v11_medium_train_SIXray_OPIXray gun Detection preview by DN_Medium_300_yolov8m_20t7_new gun, knife Detection preview by Segmentatation_v8_medium_train_250 gun, knife Detection preview by Segmentation_V11_large_300_train_300 gun, knife Detection preview by Segmentation_v8_large_300_train_300
Original Image: P03022.jpg
GT: gun, knife
gun, knife Detection preview by Box_v11_medium_train_SIXray_OPIXray gun Detection preview by DN_Medium_300_yolov8m_20t7_new gun, knife Detection preview by Segmentatation_v8_medium_train_250 gun, knife Detection preview by Segmentation_V11_large_300_train_300 gun, knife Detection preview by Segmentation_v8_large_300_train_300
Original Image: P03023.jpg
GT: gun, knife
gun, knife Detection preview by Box_v11_medium_train_SIXray_OPIXray gun Detection preview by DN_Medium_300_yolov8m_20t7_new gun, knife Detection preview by Segmentatation_v8_medium_train_250 gun, knife Detection preview by Segmentation_V11_large_300_train_300 gun, knife Detection preview by Segmentation_v8_large_300_train_300
Original Image: P03024.jpg
GT: gun, knife
gun, knife Detection preview by Box_v11_medium_train_SIXray_OPIXray gun Detection preview by DN_Medium_300_yolov8m_20t7_new gun, knife Detection preview by Segmentatation_v8_medium_train_250 gun, knife Detection preview by Segmentation_V11_large_300_train_300 gun, knife Detection preview by Segmentation_v8_large_300_train_300
Original Image: P03025.jpg
GT: gun, knife
gun, knife Detection preview by Box_v11_medium_train_SIXray_OPIXray gun Detection preview by DN_Medium_300_yolov8m_20t7_new gun, knife Detection preview by Segmentatation_v8_medium_train_250 gun, knife Detection preview by Segmentation_V11_large_300_train_300 gun, knife Detection preview by Segmentation_v8_large_300_train_300
Original Image: P03026.jpg
GT: gun, knife
gun, knife Detection preview by Box_v11_medium_train_SIXray_OPIXray gun Detection preview by DN_Medium_300_yolov8m_20t7_new gun, knife Detection preview by Segmentatation_v8_medium_train_250 gun, knife Detection preview by Segmentation_V11_large_300_train_300 gun, knife Detection preview by Segmentation_v8_large_300_train_300
Original Image: P03027.jpg
GT: gun, knife
gun, knife Detection preview by Box_v11_medium_train_SIXray_OPIXray gun Detection preview by DN_Medium_300_yolov8m_20t7_new gun, knife Detection preview by Segmentatation_v8_medium_train_250 gun, knife Detection preview by Segmentation_V11_large_300_train_300 gun, knife Detection preview by Segmentation_v8_large_300_train_300
Original Image: P03028.jpg
GT: gun, knife
gun, knife Detection preview by Box_v11_medium_train_SIXray_OPIXray No objects detected Detection preview by DN_Medium_300_yolov8m_20t7_new gun, knife Detection preview by Segmentatation_v8_medium_train_250 gun, knife Detection preview by Segmentation_V11_large_300_train_300 gun, knife Detection preview by Segmentation_v8_large_300_train_300
Original Image: P03029.jpg
GT: gun
gun Detection preview by Box_v11_medium_train_SIXray_OPIXray No objects detected Detection preview by DN_Medium_300_yolov8m_20t7_new gun Detection preview by Segmentatation_v8_medium_train_250 gun Detection preview by Segmentation_V11_large_300_train_300 gun Detection preview by Segmentation_v8_large_300_train_300
Original Image: P03030.jpg
GT: gun, knife
gun, knife Detection preview by Box_v11_medium_train_SIXray_OPIXray gun Detection preview by DN_Medium_300_yolov8m_20t7_new gun, knife Detection preview by Segmentatation_v8_medium_train_250 gun, knife Detection preview by Segmentation_V11_large_300_train_300 gun, knife Detection preview by Segmentation_v8_large_300_train_300
Original Image: P03031.jpg
GT: gun
gun Detection preview by Box_v11_medium_train_SIXray_OPIXray No objects detected Detection preview by DN_Medium_300_yolov8m_20t7_new gun Detection preview by Segmentatation_v8_medium_train_250 gun Detection preview by Segmentation_V11_large_300_train_300 gun Detection preview by Segmentation_v8_large_300_train_300
Original Image: P03032.jpg
GT: gun, knife
gun, knife Detection preview by Box_v11_medium_train_SIXray_OPIXray No objects detected Detection preview by DN_Medium_300_yolov8m_20t7_new gun, knife Detection preview by Segmentatation_v8_medium_train_250 gun, knife Detection preview by Segmentation_V11_large_300_train_300 gun, knife Detection preview by Segmentation_v8_large_300_train_300
Original Image: P03033.jpg
GT: gun
gun Detection preview by Box_v11_medium_train_SIXray_OPIXray No objects detected Detection preview by DN_Medium_300_yolov8m_20t7_new gun Detection preview by Segmentatation_v8_medium_train_250 gun Detection preview by Segmentation_V11_large_300_train_300 gun Detection preview by Segmentation_v8_large_300_train_300
Original Image: P03034.jpg
GT: gun, knife
gun, knife Detection preview by Box_v11_medium_train_SIXray_OPIXray gun Detection preview by DN_Medium_300_yolov8m_20t7_new gun, knife Detection preview by Segmentatation_v8_medium_train_250 gun, knife Detection preview by Segmentation_V11_large_300_train_300 gun, knife Detection preview by Segmentation_v8_large_300_train_300
Original Image: P03035.jpg
GT: gun
gun Detection preview by Box_v11_medium_train_SIXray_OPIXray gun Detection preview by DN_Medium_300_yolov8m_20t7_new gun Detection preview by Segmentatation_v8_medium_train_250 gun Detection preview by Segmentation_V11_large_300_train_300 gun Detection preview by Segmentation_v8_large_300_train_300
Original Image: P03036.jpg
GT: scissors
scissor Detection preview by Box_v11_medium_train_SIXray_OPIXray No objects detected Detection preview by DN_Medium_300_yolov8m_20t7_new scissor Detection preview by Segmentatation_v8_medium_train_250 scissor Detection preview by Segmentation_V11_large_300_train_300 scissor Detection preview by Segmentation_v8_large_300_train_300
Original Image: P03037.jpg
GT: gun, knife
gun, knife Detection preview by Box_v11_medium_train_SIXray_OPIXray gun Detection preview by DN_Medium_300_yolov8m_20t7_new gun, knife Detection preview by Segmentatation_v8_medium_train_250 gun, knife Detection preview by Segmentation_V11_large_300_train_300 gun, knife Detection preview by Segmentation_v8_large_300_train_300
Original Image: P03038.jpg
GT: gun, knife
gun, knife Detection preview by Box_v11_medium_train_SIXray_OPIXray gun Detection preview by DN_Medium_300_yolov8m_20t7_new gun, knife Detection preview by Segmentatation_v8_medium_train_250 gun, knife Detection preview by Segmentation_V11_large_300_train_300 gun, knife Detection preview by Segmentation_v8_large_300_train_300
Original Image: P03039.jpg
GT: gun
gun Detection preview by Box_v11_medium_train_SIXray_OPIXray No objects detected Detection preview by DN_Medium_300_yolov8m_20t7_new gun Detection preview by Segmentatation_v8_medium_train_250 gun Detection preview by Segmentation_V11_large_300_train_300 gun Detection preview by Segmentation_v8_large_300_train_300
Original Image: P03040.jpg
GT: gun, knife
gun, knife Detection preview by Box_v11_medium_train_SIXray_OPIXray gun Detection preview by DN_Medium_300_yolov8m_20t7_new gun, knife Detection preview by Segmentatation_v8_medium_train_250 gun, knife Detection preview by Segmentation_V11_large_300_train_300 gun, knife Detection preview by Segmentation_v8_large_300_train_300
Original Image: P03041.jpg
GT: gun, knife
gun, knife Detection preview by Box_v11_medium_train_SIXray_OPIXray gun Detection preview by DN_Medium_300_yolov8m_20t7_new gun, knife Detection preview by Segmentatation_v8_medium_train_250 gun, knife Detection preview by Segmentation_V11_large_300_train_300 gun, knife Detection preview by Segmentation_v8_large_300_train_300
Original Image: P03042.jpg
GT: gun, knife
gun, knife Detection preview by Box_v11_medium_train_SIXray_OPIXray gun Detection preview by DN_Medium_300_yolov8m_20t7_new gun, knife Detection preview by Segmentatation_v8_medium_train_250 gun, knife Detection preview by Segmentation_V11_large_300_train_300 gun, knife Detection preview by Segmentation_v8_large_300_train_300
Original Image: P03043.jpg
GT: gun, knife
gun, knife Detection preview by Box_v11_medium_train_SIXray_OPIXray gun Detection preview by DN_Medium_300_yolov8m_20t7_new gun, knife Detection preview by Segmentatation_v8_medium_train_250 gun, knife Detection preview by Segmentation_V11_large_300_train_300 gun, knife Detection preview by Segmentation_v8_large_300_train_300
Original Image: P03044.jpg
GT: gun, knife
gun, knife Detection preview by Box_v11_medium_train_SIXray_OPIXray gun Detection preview by DN_Medium_300_yolov8m_20t7_new gun, knife Detection preview by Segmentatation_v8_medium_train_250 gun, knife Detection preview by Segmentation_V11_large_300_train_300 gun, knife Detection preview by Segmentation_v8_large_300_train_300
Original Image: P03045.jpg
GT: gun, knife
gun, knife Detection preview by Box_v11_medium_train_SIXray_OPIXray gun Detection preview by DN_Medium_300_yolov8m_20t7_new gun, knife Detection preview by Segmentatation_v8_medium_train_250 gun, knife Detection preview by Segmentation_V11_large_300_train_300 gun, knife Detection preview by Segmentation_v8_large_300_train_300
Original Image: P03046.jpg
GT: gun, knife
gun, knife Detection preview by Box_v11_medium_train_SIXray_OPIXray No objects detected Detection preview by DN_Medium_300_yolov8m_20t7_new gun, knife Detection preview by Segmentatation_v8_medium_train_250 gun, knife Detection preview by Segmentation_V11_large_300_train_300 gun, knife Detection preview by Segmentation_v8_large_300_train_300
Original Image: P03047.jpg
GT: gun, knife
gun, knife Detection preview by Box_v11_medium_train_SIXray_OPIXray No objects detected Detection preview by DN_Medium_300_yolov8m_20t7_new gun, knife Detection preview by Segmentatation_v8_medium_train_250 gun, knife Detection preview by Segmentation_V11_large_300_train_300 gun, knife Detection preview by Segmentation_v8_large_300_train_300
Original Image: P03048.jpg
GT: gun, knife
gun, knife Detection preview by Box_v11_medium_train_SIXray_OPIXray No objects detected Detection preview by DN_Medium_300_yolov8m_20t7_new gun, knife Detection preview by Segmentatation_v8_medium_train_250 gun, knife Detection preview by Segmentation_V11_large_300_train_300 gun, knife Detection preview by Segmentation_v8_large_300_train_300
Original Image: P03049.jpg
GT: gun, knife
gun, knife Detection preview by Box_v11_medium_train_SIXray_OPIXray No objects detected Detection preview by DN_Medium_300_yolov8m_20t7_new gun, knife Detection preview by Segmentatation_v8_medium_train_250 gun, knife Detection preview by Segmentation_V11_large_300_train_300 gun, knife Detection preview by Segmentation_v8_large_300_train_300
Original Image: P03050.jpg
GT: gun, knife
gun, knife Detection preview by Box_v11_medium_train_SIXray_OPIXray No objects detected Detection preview by DN_Medium_300_yolov8m_20t7_new gun, knife Detection preview by Segmentatation_v8_medium_train_250 gun, knife Detection preview by Segmentation_V11_large_300_train_300 gun, knife Detection preview by Segmentation_v8_large_300_train_300
Original Image: P03051.jpg
GT: gun, knife
gun, knife Detection preview by Box_v11_medium_train_SIXray_OPIXray No objects detected Detection preview by DN_Medium_300_yolov8m_20t7_new gun, knife Detection preview by Segmentatation_v8_medium_train_250 gun, knife Detection preview by Segmentation_V11_large_300_train_300 gun, knife Detection preview by Segmentation_v8_large_300_train_300
Original Image: P03052.jpg
GT: gun, knife
gun, knife Detection preview by Box_v11_medium_train_SIXray_OPIXray No objects detected Detection preview by DN_Medium_300_yolov8m_20t7_new gun, knife Detection preview by Segmentatation_v8_medium_train_250 gun, knife Detection preview by Segmentation_V11_large_300_train_300 gun, knife Detection preview by Segmentation_v8_large_300_train_300
Original Image: P03053.jpg
GT: gun, knife
gun, knife Detection preview by Box_v11_medium_train_SIXray_OPIXray gun Detection preview by DN_Medium_300_yolov8m_20t7_new gun, knife Detection preview by Segmentatation_v8_medium_train_250 gun, knife Detection preview by Segmentation_V11_large_300_train_300 gun, knife Detection preview by Segmentation_v8_large_300_train_300
Original Image: P03054.jpg
GT: gun, knife
gun, knife Detection preview by Box_v11_medium_train_SIXray_OPIXray gun Detection preview by DN_Medium_300_yolov8m_20t7_new gun, knife Detection preview by Segmentatation_v8_medium_train_250 gun, knife Detection preview by Segmentation_V11_large_300_train_300 gun, knife Detection preview by Segmentation_v8_large_300_train_300
Original Image: P03055.jpg
GT: gun, knife
gun, knife Detection preview by Box_v11_medium_train_SIXray_OPIXray No objects detected Detection preview by DN_Medium_300_yolov8m_20t7_new gun, knife Detection preview by Segmentatation_v8_medium_train_250 gun, knife Detection preview by Segmentation_V11_large_300_train_300 gun, knife Detection preview by Segmentation_v8_large_300_train_300
Original Image: P03056.jpg
GT: gun, knife
gun, knife Detection preview by Box_v11_medium_train_SIXray_OPIXray No objects detected Detection preview by DN_Medium_300_yolov8m_20t7_new gun, knife Detection preview by Segmentatation_v8_medium_train_250 gun, knife Detection preview by Segmentation_V11_large_300_train_300 gun, knife Detection preview by Segmentation_v8_large_300_train_300
Original Image: P03057.jpg
GT: gun, knife
gun, knife Detection preview by Box_v11_medium_train_SIXray_OPIXray gun Detection preview by DN_Medium_300_yolov8m_20t7_new gun, knife Detection preview by Segmentatation_v8_medium_train_250 gun, knife Detection preview by Segmentation_V11_large_300_train_300 gun, knife Detection preview by Segmentation_v8_large_300_train_300
Original Image: P03058.jpg
GT: gun, knife
gun, knife Detection preview by Box_v11_medium_train_SIXray_OPIXray No objects detected Detection preview by DN_Medium_300_yolov8m_20t7_new gun, knife Detection preview by Segmentatation_v8_medium_train_250 gun, knife Detection preview by Segmentation_V11_large_300_train_300 gun, knife Detection preview by Segmentation_v8_large_300_train_300
Original Image: P03059.jpg
GT: gun, knife
gun, knife Detection preview by Box_v11_medium_train_SIXray_OPIXray gun Detection preview by DN_Medium_300_yolov8m_20t7_new gun, knife Detection preview by Segmentatation_v8_medium_train_250 gun, knife Detection preview by Segmentation_V11_large_300_train_300 gun, knife Detection preview by Segmentation_v8_large_300_train_300
Original Image: P03060.jpg
GT: gun, knife
gun, knife Detection preview by Box_v11_medium_train_SIXray_OPIXray No objects detected Detection preview by DN_Medium_300_yolov8m_20t7_new gun, knife Detection preview by Segmentatation_v8_medium_train_250 gun, knife Detection preview by Segmentation_V11_large_300_train_300 gun, knife Detection preview by Segmentation_v8_large_300_train_300
Original Image: P03061.jpg
GT: gun, knife
gun, knife Detection preview by Box_v11_medium_train_SIXray_OPIXray gun Detection preview by DN_Medium_300_yolov8m_20t7_new gun, knife Detection preview by Segmentatation_v8_medium_train_250 gun, knife Detection preview by Segmentation_V11_large_300_train_300 gun, knife Detection preview by Segmentation_v8_large_300_train_300
Original Image: P03062.jpg
GT: gun, knife
gun, knife Detection preview by Box_v11_medium_train_SIXray_OPIXray No objects detected Detection preview by DN_Medium_300_yolov8m_20t7_new gun, knife Detection preview by Segmentatation_v8_medium_train_250 gun, knife Detection preview by Segmentation_V11_large_300_train_300 gun, knife Detection preview by Segmentation_v8_large_300_train_300
Original Image: P03063.jpg
GT: gun, knife
gun, knife Detection preview by Box_v11_medium_train_SIXray_OPIXray gun Detection preview by DN_Medium_300_yolov8m_20t7_new gun, knife Detection preview by Segmentatation_v8_medium_train_250 gun, knife Detection preview by Segmentation_V11_large_300_train_300 gun, knife Detection preview by Segmentation_v8_large_300_train_300
Original Image: P03064.jpg
GT: gun, knife
gun, knife Detection preview by Box_v11_medium_train_SIXray_OPIXray gun Detection preview by DN_Medium_300_yolov8m_20t7_new gun, knife Detection preview by Segmentatation_v8_medium_train_250 gun, knife Detection preview by Segmentation_V11_large_300_train_300 gun, knife Detection preview by Segmentation_v8_large_300_train_300
Original Image: P03065.jpg
GT: gun, knife
gun, knife Detection preview by Box_v11_medium_train_SIXray_OPIXray gun Detection preview by DN_Medium_300_yolov8m_20t7_new gun, knife Detection preview by Segmentatation_v8_medium_train_250 gun, knife Detection preview by Segmentation_V11_large_300_train_300 gun, knife Detection preview by Segmentation_v8_large_300_train_300
Original Image: P03066.jpg
GT: gun
gun Detection preview by Box_v11_medium_train_SIXray_OPIXray No objects detected Detection preview by DN_Medium_300_yolov8m_20t7_new gun Detection preview by Segmentatation_v8_medium_train_250 gun Detection preview by Segmentation_V11_large_300_train_300 gun Detection preview by Segmentation_v8_large_300_train_300
Original Image: P03067.jpg
GT: gun, knife
gun, knife Detection preview by Box_v11_medium_train_SIXray_OPIXray No objects detected Detection preview by DN_Medium_300_yolov8m_20t7_new gun, knife Detection preview by Segmentatation_v8_medium_train_250 gun, knife Detection preview by Segmentation_V11_large_300_train_300 gun, knife Detection preview by Segmentation_v8_large_300_train_300
Original Image: P03068.jpg
GT: gun, knife
gun, knife Detection preview by Box_v11_medium_train_SIXray_OPIXray No objects detected Detection preview by DN_Medium_300_yolov8m_20t7_new gun, knife Detection preview by Segmentatation_v8_medium_train_250 gun, knife Detection preview by Segmentation_V11_large_300_train_300 gun, knife Detection preview by Segmentation_v8_large_300_train_300
Original Image: P03069.jpg
GT: gun, knife
gun, knife Detection preview by Box_v11_medium_train_SIXray_OPIXray No objects detected Detection preview by DN_Medium_300_yolov8m_20t7_new gun, knife Detection preview by Segmentatation_v8_medium_train_250 gun, knife Detection preview by Segmentation_V11_large_300_train_300 gun, knife Detection preview by Segmentation_v8_large_300_train_300
Original Image: P03070.jpg
GT: gun, knife
gun, knife Detection preview by Box_v11_medium_train_SIXray_OPIXray No objects detected Detection preview by DN_Medium_300_yolov8m_20t7_new gun, knife Detection preview by Segmentatation_v8_medium_train_250 gun, knife Detection preview by Segmentation_V11_large_300_train_300 gun, knife Detection preview by Segmentation_v8_large_300_train_300
Original Image: P03071.jpg
GT: gun, knife
gun, knife Detection preview by Box_v11_medium_train_SIXray_OPIXray gun Detection preview by DN_Medium_300_yolov8m_20t7_new gun, knife Detection preview by Segmentatation_v8_medium_train_250 gun, knife Detection preview by Segmentation_V11_large_300_train_300 gun, knife Detection preview by Segmentation_v8_large_300_train_300
Original Image: P03072.jpg
GT: gun, knife
gun, knife Detection preview by Box_v11_medium_train_SIXray_OPIXray No objects detected Detection preview by DN_Medium_300_yolov8m_20t7_new gun, knife Detection preview by Segmentatation_v8_medium_train_250 gun, knife Detection preview by Segmentation_V11_large_300_train_300 gun, knife Detection preview by Segmentation_v8_large_300_train_300
Original Image: P03073.jpg
GT: gun, knife
gun, knife Detection preview by Box_v11_medium_train_SIXray_OPIXray No objects detected Detection preview by DN_Medium_300_yolov8m_20t7_new gun, knife Detection preview by Segmentatation_v8_medium_train_250 gun, knife Detection preview by Segmentation_V11_large_300_train_300 gun, knife Detection preview by Segmentation_v8_large_300_train_300
Original Image: P03074.jpg
GT: gun, knife
gun, knife Detection preview by Box_v11_medium_train_SIXray_OPIXray No objects detected Detection preview by DN_Medium_300_yolov8m_20t7_new gun, knife Detection preview by Segmentatation_v8_medium_train_250 gun, knife Detection preview by Segmentation_V11_large_300_train_300 gun, knife Detection preview by Segmentation_v8_large_300_train_300
Original Image: P03075.jpg
GT: gun, knife
gun, knife Detection preview by Box_v11_medium_train_SIXray_OPIXray gun Detection preview by DN_Medium_300_yolov8m_20t7_new gun, knife Detection preview by Segmentatation_v8_medium_train_250 gun, knife Detection preview by Segmentation_V11_large_300_train_300 gun, knife Detection preview by Segmentation_v8_large_300_train_300
Original Image: P03076.jpg
GT: gun, knife
gun, knife Detection preview by Box_v11_medium_train_SIXray_OPIXray No objects detected Detection preview by DN_Medium_300_yolov8m_20t7_new gun, knife Detection preview by Segmentatation_v8_medium_train_250 gun, knife Detection preview by Segmentation_V11_large_300_train_300 gun, knife Detection preview by Segmentation_v8_large_300_train_300
Original Image: P03077.jpg
GT: gun, knife
gun, knife Detection preview by Box_v11_medium_train_SIXray_OPIXray gun Detection preview by DN_Medium_300_yolov8m_20t7_new gun, knife Detection preview by Segmentatation_v8_medium_train_250 gun, knife Detection preview by Segmentation_V11_large_300_train_300 gun, knife Detection preview by Segmentation_v8_large_300_train_300
Original Image: P03078.jpg
GT: gun, knife
gun, knife Detection preview by Box_v11_medium_train_SIXray_OPIXray No objects detected Detection preview by DN_Medium_300_yolov8m_20t7_new gun, knife Detection preview by Segmentatation_v8_medium_train_250 gun, knife Detection preview by Segmentation_V11_large_300_train_300 gun, knife Detection preview by Segmentation_v8_large_300_train_300
Original Image: P03079.jpg
GT: gun, knife
gun, knife Detection preview by Box_v11_medium_train_SIXray_OPIXray gun Detection preview by DN_Medium_300_yolov8m_20t7_new gun, knife Detection preview by Segmentatation_v8_medium_train_250 gun, knife Detection preview by Segmentation_V11_large_300_train_300 gun, knife Detection preview by Segmentation_v8_large_300_train_300
Original Image: P03080.jpg
GT: knife
knife Detection preview by Box_v11_medium_train_SIXray_OPIXray knife Detection preview by DN_Medium_300_yolov8m_20t7_new knife Detection preview by Segmentatation_v8_medium_train_250 knife Detection preview by Segmentation_V11_large_300_train_300 knife Detection preview by Segmentation_v8_large_300_train_300
Original Image: P03081.jpg
GT: gun, knife
gun, knife Detection preview by Box_v11_medium_train_SIXray_OPIXray No objects detected Detection preview by DN_Medium_300_yolov8m_20t7_new gun, knife Detection preview by Segmentatation_v8_medium_train_250 gun, knife Detection preview by Segmentation_V11_large_300_train_300 gun, knife Detection preview by Segmentation_v8_large_300_train_300
Original Image: P03082.jpg
GT: gun, knife
gun, knife Detection preview by Box_v11_medium_train_SIXray_OPIXray No objects detected Detection preview by DN_Medium_300_yolov8m_20t7_new gun, knife Detection preview by Segmentatation_v8_medium_train_250 gun, knife Detection preview by Segmentation_V11_large_300_train_300 gun, knife Detection preview by Segmentation_v8_large_300_train_300
Original Image: P03083.jpg
GT: gun, knife
gun, knife Detection preview by Box_v11_medium_train_SIXray_OPIXray No objects detected Detection preview by DN_Medium_300_yolov8m_20t7_new gun, knife Detection preview by Segmentatation_v8_medium_train_250 gun, knife Detection preview by Segmentation_V11_large_300_train_300 gun, knife Detection preview by Segmentation_v8_large_300_train_300
Original Image: P03084.jpg
GT: gun, knife
gun, knife Detection preview by Box_v11_medium_train_SIXray_OPIXray gun Detection preview by DN_Medium_300_yolov8m_20t7_new gun, knife Detection preview by Segmentatation_v8_medium_train_250 gun, knife Detection preview by Segmentation_V11_large_300_train_300 gun, knife Detection preview by Segmentation_v8_large_300_train_300
Original Image: P03085.jpg
GT: gun, knife
gun, knife Detection preview by Box_v11_medium_train_SIXray_OPIXray gun Detection preview by DN_Medium_300_yolov8m_20t7_new gun, knife Detection preview by Segmentatation_v8_medium_train_250 gun, knife Detection preview by Segmentation_V11_large_300_train_300 gun, knife Detection preview by Segmentation_v8_large_300_train_300
Original Image: P03086.jpg
GT: gun, knife
gun, knife Detection preview by Box_v11_medium_train_SIXray_OPIXray No objects detected Detection preview by DN_Medium_300_yolov8m_20t7_new gun, knife Detection preview by Segmentatation_v8_medium_train_250 gun, knife Detection preview by Segmentation_V11_large_300_train_300 gun, knife Detection preview by Segmentation_v8_large_300_train_300
Original Image: P03087.jpg
GT: gun, knife
gun, knife Detection preview by Box_v11_medium_train_SIXray_OPIXray No objects detected Detection preview by DN_Medium_300_yolov8m_20t7_new gun, knife Detection preview by Segmentatation_v8_medium_train_250 gun, knife Detection preview by Segmentation_V11_large_300_train_300 gun, knife Detection preview by Segmentation_v8_large_300_train_300
Original Image: P03088.jpg
GT: gun, knife
gun, knife Detection preview by Box_v11_medium_train_SIXray_OPIXray gun Detection preview by DN_Medium_300_yolov8m_20t7_new gun, knife Detection preview by Segmentatation_v8_medium_train_250 gun, knife Detection preview by Segmentation_V11_large_300_train_300 gun, knife Detection preview by Segmentation_v8_large_300_train_300
Original Image: P03089.jpg
GT: gun, knife
gun, knife Detection preview by Box_v11_medium_train_SIXray_OPIXray knife Detection preview by DN_Medium_300_yolov8m_20t7_new gun, knife Detection preview by Segmentatation_v8_medium_train_250 gun, knife Detection preview by Segmentation_V11_large_300_train_300 gun, knife Detection preview by Segmentation_v8_large_300_train_300
Original Image: P03090.jpg
GT: gun, knife
gun, knife Detection preview by Box_v11_medium_train_SIXray_OPIXray gun Detection preview by DN_Medium_300_yolov8m_20t7_new gun, knife Detection preview by Segmentatation_v8_medium_train_250 gun, knife Detection preview by Segmentation_V11_large_300_train_300 gun, knife Detection preview by Segmentation_v8_large_300_train_300
Original Image: P03091.jpg
GT: gun, knife
gun, knife Detection preview by Box_v11_medium_train_SIXray_OPIXray No objects detected Detection preview by DN_Medium_300_yolov8m_20t7_new gun, knife Detection preview by Segmentatation_v8_medium_train_250 gun, knife Detection preview by Segmentation_V11_large_300_train_300 gun, knife Detection preview by Segmentation_v8_large_300_train_300
Original Image: P03092.jpg
GT: gun, knife
gun, knife Detection preview by Box_v11_medium_train_SIXray_OPIXray gun Detection preview by DN_Medium_300_yolov8m_20t7_new gun, knife Detection preview by Segmentatation_v8_medium_train_250 gun, knife Detection preview by Segmentation_V11_large_300_train_300 gun, knife Detection preview by Segmentation_v8_large_300_train_300
Original Image: P03093.jpg
GT: gun, knife
gun, knife Detection preview by Box_v11_medium_train_SIXray_OPIXray No objects detected Detection preview by DN_Medium_300_yolov8m_20t7_new gun, knife Detection preview by Segmentatation_v8_medium_train_250 gun, knife Detection preview by Segmentation_V11_large_300_train_300 gun, knife Detection preview by Segmentation_v8_large_300_train_300
Original Image: P03094.jpg
GT: knife, wrench
knife, wrench Detection preview by Box_v11_medium_train_SIXray_OPIXray No objects detected Detection preview by DN_Medium_300_yolov8m_20t7_new wrench Detection preview by Segmentatation_v8_medium_train_250 knife, wrench Detection preview by Segmentation_V11_large_300_train_300 wrench Detection preview by Segmentation_v8_large_300_train_300
Original Image: P03095.jpg
GT: knife, wrench
knife, wrench Detection preview by Box_v11_medium_train_SIXray_OPIXray No objects detected Detection preview by DN_Medium_300_yolov8m_20t7_new knife, wrench Detection preview by Segmentatation_v8_medium_train_250 knife, wrench Detection preview by Segmentation_V11_large_300_train_300 knife, wrench Detection preview by Segmentation_v8_large_300_train_300
Original Image: P03096.jpg
GT: gun, knife
gun, knife Detection preview by Box_v11_medium_train_SIXray_OPIXray No objects detected Detection preview by DN_Medium_300_yolov8m_20t7_new gun, knife Detection preview by Segmentatation_v8_medium_train_250 gun, knife Detection preview by Segmentation_V11_large_300_train_300 gun, knife Detection preview by Segmentation_v8_large_300_train_300
Original Image: P03097.jpg
GT: gun, knife
gun, knife Detection preview by Box_v11_medium_train_SIXray_OPIXray No objects detected Detection preview by DN_Medium_300_yolov8m_20t7_new gun, knife Detection preview by Segmentatation_v8_medium_train_250 gun, knife Detection preview by Segmentation_V11_large_300_train_300 gun, knife Detection preview by Segmentation_v8_large_300_train_300
Original Image: P03098.jpg
GT: gun, knife
gun, knife Detection preview by Box_v11_medium_train_SIXray_OPIXray No objects detected Detection preview by DN_Medium_300_yolov8m_20t7_new gun, knife Detection preview by Segmentatation_v8_medium_train_250 gun, knife Detection preview by Segmentation_V11_large_300_train_300 gun, knife Detection preview by Segmentation_v8_large_300_train_300
Original Image: P03099.jpg
GT: gun, knife
gun, knife Detection preview by Box_v11_medium_train_SIXray_OPIXray No objects detected Detection preview by DN_Medium_300_yolov8m_20t7_new gun, knife Detection preview by Segmentatation_v8_medium_train_250 gun, knife Detection preview by Segmentation_V11_large_300_train_300 gun, knife Detection preview by Segmentation_v8_large_300_train_300
Original Image: P03100.jpg
GT: gun, knife
gun, knife Detection preview by Box_v11_medium_train_SIXray_OPIXray gun Detection preview by DN_Medium_300_yolov8m_20t7_new gun, knife Detection preview by Segmentatation_v8_medium_train_250 gun, knife Detection preview by Segmentation_V11_large_300_train_300 gun, knife Detection preview by Segmentation_v8_large_300_train_300
Original Image: P03101.jpg
GT: gun, knife
gun, knife Detection preview by Box_v11_medium_train_SIXray_OPIXray No objects detected Detection preview by DN_Medium_300_yolov8m_20t7_new gun, knife Detection preview by Segmentatation_v8_medium_train_250 gun, knife Detection preview by Segmentation_V11_large_300_train_300 gun, knife Detection preview by Segmentation_v8_large_300_train_300
Original Image: P03102.jpg
GT: gun, knife
gun, knife Detection preview by Box_v11_medium_train_SIXray_OPIXray No objects detected Detection preview by DN_Medium_300_yolov8m_20t7_new gun, knife Detection preview by Segmentatation_v8_medium_train_250 gun, knife Detection preview by Segmentation_V11_large_300_train_300 gun, knife Detection preview by Segmentation_v8_large_300_train_300
Original Image: P03103.jpg
GT: gun, knife
gun, knife Detection preview by Box_v11_medium_train_SIXray_OPIXray No objects detected Detection preview by DN_Medium_300_yolov8m_20t7_new gun, knife Detection preview by Segmentatation_v8_medium_train_250 gun, knife Detection preview by Segmentation_V11_large_300_train_300 gun, knife Detection preview by Segmentation_v8_large_300_train_300
Original Image: P03104.jpg
GT: gun, knife
gun, knife Detection preview by Box_v11_medium_train_SIXray_OPIXray gun Detection preview by DN_Medium_300_yolov8m_20t7_new gun, knife Detection preview by Segmentatation_v8_medium_train_250 gun, knife Detection preview by Segmentation_V11_large_300_train_300 gun, knife Detection preview by Segmentation_v8_large_300_train_300
Original Image: P03105.jpg
GT: gun, knife
gun, knife Detection preview by Box_v11_medium_train_SIXray_OPIXray No objects detected Detection preview by DN_Medium_300_yolov8m_20t7_new gun, knife Detection preview by Segmentatation_v8_medium_train_250 gun, knife Detection preview by Segmentation_V11_large_300_train_300 gun, knife Detection preview by Segmentation_v8_large_300_train_300
Original Image: P03106.jpg
GT: gun, knife
gun, knife Detection preview by Box_v11_medium_train_SIXray_OPIXray gun Detection preview by DN_Medium_300_yolov8m_20t7_new gun, knife Detection preview by Segmentatation_v8_medium_train_250 gun, knife Detection preview by Segmentation_V11_large_300_train_300 gun, knife Detection preview by Segmentation_v8_large_300_train_300
Original Image: P03107.jpg
GT: gun, knife
gun, knife Detection preview by Box_v11_medium_train_SIXray_OPIXray gun Detection preview by DN_Medium_300_yolov8m_20t7_new gun, knife Detection preview by Segmentatation_v8_medium_train_250 gun, knife Detection preview by Segmentation_V11_large_300_train_300 gun, knife Detection preview by Segmentation_v8_large_300_train_300
Original Image: P03108.jpg
GT: gun, knife
gun, knife Detection preview by Box_v11_medium_train_SIXray_OPIXray No objects detected Detection preview by DN_Medium_300_yolov8m_20t7_new gun, knife Detection preview by Segmentatation_v8_medium_train_250 gun, knife Detection preview by Segmentation_V11_large_300_train_300 gun, knife Detection preview by Segmentation_v8_large_300_train_300
Original Image: P03109.jpg
GT: gun, knife
gun, knife Detection preview by Box_v11_medium_train_SIXray_OPIXray gun Detection preview by DN_Medium_300_yolov8m_20t7_new gun, knife Detection preview by Segmentatation_v8_medium_train_250 gun, knife Detection preview by Segmentation_V11_large_300_train_300 gun, knife Detection preview by Segmentation_v8_large_300_train_300
Original Image: P03110.jpg
GT: gun, knife
gun, knife Detection preview by Box_v11_medium_train_SIXray_OPIXray gun Detection preview by DN_Medium_300_yolov8m_20t7_new gun, knife Detection preview by Segmentatation_v8_medium_train_250 gun, knife Detection preview by Segmentation_V11_large_300_train_300 gun, knife Detection preview by Segmentation_v8_large_300_train_300
Original Image: P03111.jpg
GT: gun, knife
gun, knife Detection preview by Box_v11_medium_train_SIXray_OPIXray No objects detected Detection preview by DN_Medium_300_yolov8m_20t7_new gun, knife Detection preview by Segmentatation_v8_medium_train_250 gun, knife Detection preview by Segmentation_V11_large_300_train_300 gun, knife Detection preview by Segmentation_v8_large_300_train_300
Original Image: P03112.jpg
GT: gun, knife
gun, knife Detection preview by Box_v11_medium_train_SIXray_OPIXray gun Detection preview by DN_Medium_300_yolov8m_20t7_new gun, knife Detection preview by Segmentatation_v8_medium_train_250 gun, knife Detection preview by Segmentation_V11_large_300_train_300 gun, knife Detection preview by Segmentation_v8_large_300_train_300
Original Image: P03113.jpg
GT: gun, knife
gun, knife Detection preview by Box_v11_medium_train_SIXray_OPIXray No objects detected Detection preview by DN_Medium_300_yolov8m_20t7_new gun, knife Detection preview by Segmentatation_v8_medium_train_250 gun, knife Detection preview by Segmentation_V11_large_300_train_300 gun, knife Detection preview by Segmentation_v8_large_300_train_300
Original Image: P03114.jpg
GT: gun, knife
gun, knife Detection preview by Box_v11_medium_train_SIXray_OPIXray gun Detection preview by DN_Medium_300_yolov8m_20t7_new gun, knife Detection preview by Segmentatation_v8_medium_train_250 gun, knife Detection preview by Segmentation_V11_large_300_train_300 gun, knife Detection preview by Segmentation_v8_large_300_train_300
Original Image: P03115.jpg
GT: gun, knife
gun, knife Detection preview by Box_v11_medium_train_SIXray_OPIXray No objects detected Detection preview by DN_Medium_300_yolov8m_20t7_new gun, knife Detection preview by Segmentatation_v8_medium_train_250 gun, knife Detection preview by Segmentation_V11_large_300_train_300 gun, knife Detection preview by Segmentation_v8_large_300_train_300
Original Image: P03116.jpg
GT: gun, knife
gun, knife Detection preview by Box_v11_medium_train_SIXray_OPIXray No objects detected Detection preview by DN_Medium_300_yolov8m_20t7_new gun, knife Detection preview by Segmentatation_v8_medium_train_250 gun, knife Detection preview by Segmentation_V11_large_300_train_300 gun, knife Detection preview by Segmentation_v8_large_300_train_300
Original Image: P03117.jpg
GT: gun, knife
gun, knife Detection preview by Box_v11_medium_train_SIXray_OPIXray No objects detected Detection preview by DN_Medium_300_yolov8m_20t7_new gun, knife Detection preview by Segmentatation_v8_medium_train_250 gun, knife Detection preview by Segmentation_V11_large_300_train_300 gun, knife Detection preview by Segmentation_v8_large_300_train_300
Original Image: P03118.jpg
GT: gun, knife
gun, knife Detection preview by Box_v11_medium_train_SIXray_OPIXray No objects detected Detection preview by DN_Medium_300_yolov8m_20t7_new gun, knife Detection preview by Segmentatation_v8_medium_train_250 gun, knife Detection preview by Segmentation_V11_large_300_train_300 gun, knife Detection preview by Segmentation_v8_large_300_train_300
Original Image: P03119.jpg
GT: gun, knife
gun, knife Detection preview by Box_v11_medium_train_SIXray_OPIXray gun Detection preview by DN_Medium_300_yolov8m_20t7_new gun, knife Detection preview by Segmentatation_v8_medium_train_250 gun, knife Detection preview by Segmentation_V11_large_300_train_300 gun, knife Detection preview by Segmentation_v8_large_300_train_300
Original Image: P03120.jpg
GT: gun, knife
gun, knife Detection preview by Box_v11_medium_train_SIXray_OPIXray No objects detected Detection preview by DN_Medium_300_yolov8m_20t7_new gun, knife Detection preview by Segmentatation_v8_medium_train_250 gun, knife Detection preview by Segmentation_V11_large_300_train_300 gun, knife Detection preview by Segmentation_v8_large_300_train_300
Original Image: P03121.jpg
GT: gun, knife
gun, knife Detection preview by Box_v11_medium_train_SIXray_OPIXray gun Detection preview by DN_Medium_300_yolov8m_20t7_new gun, knife Detection preview by Segmentatation_v8_medium_train_250 gun, knife Detection preview by Segmentation_V11_large_300_train_300 gun, knife Detection preview by Segmentation_v8_large_300_train_300
Original Image: P03122.jpg
GT: gun, knife
gun, knife Detection preview by Box_v11_medium_train_SIXray_OPIXray gun Detection preview by DN_Medium_300_yolov8m_20t7_new gun, knife Detection preview by Segmentatation_v8_medium_train_250 gun, knife Detection preview by Segmentation_V11_large_300_train_300 gun, knife Detection preview by Segmentation_v8_large_300_train_300
Original Image: P03123.jpg
GT: gun, knife
gun, knife Detection preview by Box_v11_medium_train_SIXray_OPIXray gun Detection preview by DN_Medium_300_yolov8m_20t7_new gun, knife Detection preview by Segmentatation_v8_medium_train_250 gun, knife Detection preview by Segmentation_V11_large_300_train_300 gun, knife Detection preview by Segmentation_v8_large_300_train_300
Original Image: P03124.jpg
GT: gun, knife
gun, knife Detection preview by Box_v11_medium_train_SIXray_OPIXray No objects detected Detection preview by DN_Medium_300_yolov8m_20t7_new gun, knife Detection preview by Segmentatation_v8_medium_train_250 gun, knife Detection preview by Segmentation_V11_large_300_train_300 gun, knife Detection preview by Segmentation_v8_large_300_train_300
Original Image: P03125.jpg
GT: gun, knife
gun, knife Detection preview by Box_v11_medium_train_SIXray_OPIXray No objects detected Detection preview by DN_Medium_300_yolov8m_20t7_new gun, knife Detection preview by Segmentatation_v8_medium_train_250 gun, knife Detection preview by Segmentation_V11_large_300_train_300 gun, knife Detection preview by Segmentation_v8_large_300_train_300
Original Image: P03126.jpg
GT: gun, knife
gun, knife Detection preview by Box_v11_medium_train_SIXray_OPIXray gun Detection preview by DN_Medium_300_yolov8m_20t7_new gun, knife Detection preview by Segmentatation_v8_medium_train_250 gun, knife Detection preview by Segmentation_V11_large_300_train_300 gun, knife Detection preview by Segmentation_v8_large_300_train_300
Original Image: P03127.jpg
GT: gun, knife
gun, knife Detection preview by Box_v11_medium_train_SIXray_OPIXray No objects detected Detection preview by DN_Medium_300_yolov8m_20t7_new gun, knife Detection preview by Segmentatation_v8_medium_train_250 gun, knife Detection preview by Segmentation_V11_large_300_train_300 gun, knife Detection preview by Segmentation_v8_large_300_train_300
Original Image: P03128.jpg
GT: gun, knife
gun, knife Detection preview by Box_v11_medium_train_SIXray_OPIXray gun Detection preview by DN_Medium_300_yolov8m_20t7_new gun, knife Detection preview by Segmentatation_v8_medium_train_250 gun, knife Detection preview by Segmentation_V11_large_300_train_300 gun, knife Detection preview by Segmentation_v8_large_300_train_300
Original Image: P03129.jpg
GT: gun, knife
gun, knife Detection preview by Box_v11_medium_train_SIXray_OPIXray No objects detected Detection preview by DN_Medium_300_yolov8m_20t7_new gun, knife Detection preview by Segmentatation_v8_medium_train_250 gun, knife Detection preview by Segmentation_V11_large_300_train_300 gun, knife Detection preview by Segmentation_v8_large_300_train_300
Original Image: P03130.jpg
GT: gun, knife
gun, knife Detection preview by Box_v11_medium_train_SIXray_OPIXray gun Detection preview by DN_Medium_300_yolov8m_20t7_new gun, knife Detection preview by Segmentatation_v8_medium_train_250 gun, knife Detection preview by Segmentation_V11_large_300_train_300 gun, knife Detection preview by Segmentation_v8_large_300_train_300
Original Image: P03131.jpg
GT: gun, knife
gun, knife Detection preview by Box_v11_medium_train_SIXray_OPIXray gun Detection preview by DN_Medium_300_yolov8m_20t7_new gun, knife Detection preview by Segmentatation_v8_medium_train_250 gun, knife Detection preview by Segmentation_V11_large_300_train_300 gun, knife Detection preview by Segmentation_v8_large_300_train_300
Original Image: P03132.jpg
GT: gun, knife
gun, knife Detection preview by Box_v11_medium_train_SIXray_OPIXray No objects detected Detection preview by DN_Medium_300_yolov8m_20t7_new gun, knife Detection preview by Segmentatation_v8_medium_train_250 gun, knife Detection preview by Segmentation_V11_large_300_train_300 gun, knife Detection preview by Segmentation_v8_large_300_train_300
Original Image: P03133.jpg
GT: gun, knife
gun, knife Detection preview by Box_v11_medium_train_SIXray_OPIXray No objects detected Detection preview by DN_Medium_300_yolov8m_20t7_new gun, knife Detection preview by Segmentatation_v8_medium_train_250 gun, knife Detection preview by Segmentation_V11_large_300_train_300 gun, knife Detection preview by Segmentation_v8_large_300_train_300
Original Image: P03134.jpg
GT: gun, knife
gun, knife Detection preview by Box_v11_medium_train_SIXray_OPIXray gun Detection preview by DN_Medium_300_yolov8m_20t7_new gun, knife Detection preview by Segmentatation_v8_medium_train_250 gun, knife Detection preview by Segmentation_V11_large_300_train_300 gun, knife Detection preview by Segmentation_v8_large_300_train_300
Original Image: P03135.jpg
GT: gun, knife
gun, knife Detection preview by Box_v11_medium_train_SIXray_OPIXray No objects detected Detection preview by DN_Medium_300_yolov8m_20t7_new gun, knife Detection preview by Segmentatation_v8_medium_train_250 gun, knife Detection preview by Segmentation_V11_large_300_train_300 gun, knife Detection preview by Segmentation_v8_large_300_train_300
Original Image: P03136.jpg
GT: gun, knife
gun, knife Detection preview by Box_v11_medium_train_SIXray_OPIXray No objects detected Detection preview by DN_Medium_300_yolov8m_20t7_new gun, knife Detection preview by Segmentatation_v8_medium_train_250 gun, knife Detection preview by Segmentation_V11_large_300_train_300 gun, knife Detection preview by Segmentation_v8_large_300_train_300
Original Image: P03137.jpg
GT: gun, knife
gun, knife Detection preview by Box_v11_medium_train_SIXray_OPIXray gun Detection preview by DN_Medium_300_yolov8m_20t7_new gun, knife Detection preview by Segmentatation_v8_medium_train_250 gun, knife Detection preview by Segmentation_V11_large_300_train_300 gun, knife Detection preview by Segmentation_v8_large_300_train_300
Original Image: P03138.jpg
GT: gun, knife
gun, knife Detection preview by Box_v11_medium_train_SIXray_OPIXray gun Detection preview by DN_Medium_300_yolov8m_20t7_new gun, knife Detection preview by Segmentatation_v8_medium_train_250 gun, knife Detection preview by Segmentation_V11_large_300_train_300 gun, knife Detection preview by Segmentation_v8_large_300_train_300
Original Image: P03139.jpg
GT: gun, knife
gun, knife Detection preview by Box_v11_medium_train_SIXray_OPIXray No objects detected Detection preview by DN_Medium_300_yolov8m_20t7_new gun, knife Detection preview by Segmentatation_v8_medium_train_250 gun, knife Detection preview by Segmentation_V11_large_300_train_300 gun, knife Detection preview by Segmentation_v8_large_300_train_300
Original Image: P03140.jpg
GT: gun, knife
gun, knife Detection preview by Box_v11_medium_train_SIXray_OPIXray gun Detection preview by DN_Medium_300_yolov8m_20t7_new gun, knife Detection preview by Segmentatation_v8_medium_train_250 gun, knife Detection preview by Segmentation_V11_large_300_train_300 gun, knife Detection preview by Segmentation_v8_large_300_train_300
Original Image: P03141.jpg
GT: gun, knife
gun, knife Detection preview by Box_v11_medium_train_SIXray_OPIXray No objects detected Detection preview by DN_Medium_300_yolov8m_20t7_new gun, knife Detection preview by Segmentatation_v8_medium_train_250 gun, knife Detection preview by Segmentation_V11_large_300_train_300 gun, knife Detection preview by Segmentation_v8_large_300_train_300
Original Image: P03142.jpg
GT: gun, knife
gun, knife Detection preview by Box_v11_medium_train_SIXray_OPIXray gun Detection preview by DN_Medium_300_yolov8m_20t7_new gun, knife Detection preview by Segmentatation_v8_medium_train_250 gun, knife Detection preview by Segmentation_V11_large_300_train_300 gun, knife Detection preview by Segmentation_v8_large_300_train_300
Original Image: P03143.jpg
GT: gun, knife
gun, knife Detection preview by Box_v11_medium_train_SIXray_OPIXray No objects detected Detection preview by DN_Medium_300_yolov8m_20t7_new gun, knife Detection preview by Segmentatation_v8_medium_train_250 gun, knife Detection preview by Segmentation_V11_large_300_train_300 gun, knife Detection preview by Segmentation_v8_large_300_train_300
Original Image: P03144.jpg
GT: gun, knife
gun, knife Detection preview by Box_v11_medium_train_SIXray_OPIXray No objects detected Detection preview by DN_Medium_300_yolov8m_20t7_new gun, knife Detection preview by Segmentatation_v8_medium_train_250 gun, knife Detection preview by Segmentation_V11_large_300_train_300 gun, knife Detection preview by Segmentation_v8_large_300_train_300
Original Image: P03145.jpg
GT: gun, knife
gun, knife Detection preview by Box_v11_medium_train_SIXray_OPIXray gun Detection preview by DN_Medium_300_yolov8m_20t7_new gun, knife Detection preview by Segmentatation_v8_medium_train_250 gun, knife Detection preview by Segmentation_V11_large_300_train_300 gun, knife Detection preview by Segmentation_v8_large_300_train_300
Original Image: P03146.jpg
GT: gun, knife
gun, knife Detection preview by Box_v11_medium_train_SIXray_OPIXray No objects detected Detection preview by DN_Medium_300_yolov8m_20t7_new gun, knife Detection preview by Segmentatation_v8_medium_train_250 gun, knife Detection preview by Segmentation_V11_large_300_train_300 gun, knife Detection preview by Segmentation_v8_large_300_train_300
Original Image: P03147.jpg
GT: gun, knife
gun, knife Detection preview by Box_v11_medium_train_SIXray_OPIXray gun Detection preview by DN_Medium_300_yolov8m_20t7_new gun, knife Detection preview by Segmentatation_v8_medium_train_250 gun, knife Detection preview by Segmentation_V11_large_300_train_300 gun, knife Detection preview by Segmentation_v8_large_300_train_300
Original Image: P03148.jpg
GT: gun, knife
gun, knife Detection preview by Box_v11_medium_train_SIXray_OPIXray gun Detection preview by DN_Medium_300_yolov8m_20t7_new gun, knife Detection preview by Segmentatation_v8_medium_train_250 gun, knife Detection preview by Segmentation_V11_large_300_train_300 gun, knife Detection preview by Segmentation_v8_large_300_train_300
Original Image: P03149.jpg
GT: gun, knife
gun, knife Detection preview by Box_v11_medium_train_SIXray_OPIXray No objects detected Detection preview by DN_Medium_300_yolov8m_20t7_new gun, knife Detection preview by Segmentatation_v8_medium_train_250 gun, knife Detection preview by Segmentation_V11_large_300_train_300 gun, knife Detection preview by Segmentation_v8_large_300_train_300
Original Image: P03150.jpg
GT: gun, knife
gun, knife Detection preview by Box_v11_medium_train_SIXray_OPIXray gun Detection preview by DN_Medium_300_yolov8m_20t7_new gun, knife Detection preview by Segmentatation_v8_medium_train_250 gun, knife Detection preview by Segmentation_V11_large_300_train_300 gun, knife Detection preview by Segmentation_v8_large_300_train_300
Original Image: P03151.jpg
GT: gun, knife
gun, knife Detection preview by Box_v11_medium_train_SIXray_OPIXray gun Detection preview by DN_Medium_300_yolov8m_20t7_new gun, knife Detection preview by Segmentatation_v8_medium_train_250 gun, knife Detection preview by Segmentation_V11_large_300_train_300 gun, knife Detection preview by Segmentation_v8_large_300_train_300
Original Image: P03152.jpg
GT: gun, knife
gun, knife Detection preview by Box_v11_medium_train_SIXray_OPIXray gun Detection preview by DN_Medium_300_yolov8m_20t7_new gun, knife Detection preview by Segmentatation_v8_medium_train_250 gun, knife Detection preview by Segmentation_V11_large_300_train_300 gun, knife Detection preview by Segmentation_v8_large_300_train_300
Original Image: P03153.jpg
GT: gun
gun Detection preview by Box_v11_medium_train_SIXray_OPIXray gun Detection preview by DN_Medium_300_yolov8m_20t7_new gun Detection preview by Segmentatation_v8_medium_train_250 gun Detection preview by Segmentation_V11_large_300_train_300 gun Detection preview by Segmentation_v8_large_300_train_300
Original Image: P03154.jpg
GT: gun, knife
gun, knife Detection preview by Box_v11_medium_train_SIXray_OPIXray No objects detected Detection preview by DN_Medium_300_yolov8m_20t7_new gun, knife Detection preview by Segmentatation_v8_medium_train_250 gun, knife Detection preview by Segmentation_V11_large_300_train_300 gun, knife Detection preview by Segmentation_v8_large_300_train_300
Original Image: P03155.jpg
GT: gun, knife
gun, knife Detection preview by Box_v11_medium_train_SIXray_OPIXray No objects detected Detection preview by DN_Medium_300_yolov8m_20t7_new gun, knife Detection preview by Segmentatation_v8_medium_train_250 gun, knife Detection preview by Segmentation_V11_large_300_train_300 gun, knife Detection preview by Segmentation_v8_large_300_train_300
Original Image: P03156.jpg
GT: gun, knife
gun, knife Detection preview by Box_v11_medium_train_SIXray_OPIXray gun Detection preview by DN_Medium_300_yolov8m_20t7_new gun, knife Detection preview by Segmentatation_v8_medium_train_250 gun, knife Detection preview by Segmentation_V11_large_300_train_300 gun, knife Detection preview by Segmentation_v8_large_300_train_300
Original Image: P03157.jpg
GT: gun, knife
gun, knife Detection preview by Box_v11_medium_train_SIXray_OPIXray gun Detection preview by DN_Medium_300_yolov8m_20t7_new gun, knife Detection preview by Segmentatation_v8_medium_train_250 gun, knife Detection preview by Segmentation_V11_large_300_train_300 gun, knife Detection preview by Segmentation_v8_large_300_train_300
Original Image: P03158.jpg
GT: gun, knife
gun, knife Detection preview by Box_v11_medium_train_SIXray_OPIXray No objects detected Detection preview by DN_Medium_300_yolov8m_20t7_new gun, knife Detection preview by Segmentatation_v8_medium_train_250 gun, knife Detection preview by Segmentation_V11_large_300_train_300 gun, knife Detection preview by Segmentation_v8_large_300_train_300
Original Image: P03159.jpg
GT: gun, knife
gun, knife Detection preview by Box_v11_medium_train_SIXray_OPIXray No objects detected Detection preview by DN_Medium_300_yolov8m_20t7_new gun, knife Detection preview by Segmentatation_v8_medium_train_250 gun, knife Detection preview by Segmentation_V11_large_300_train_300 gun, knife Detection preview by Segmentation_v8_large_300_train_300
Original Image: P03160.jpg
GT: gun, knife
gun, knife Detection preview by Box_v11_medium_train_SIXray_OPIXray gun Detection preview by DN_Medium_300_yolov8m_20t7_new gun, knife Detection preview by Segmentatation_v8_medium_train_250 gun, knife Detection preview by Segmentation_V11_large_300_train_300 gun, knife Detection preview by Segmentation_v8_large_300_train_300
Original Image: P03161.jpg
GT: knife
knife Detection preview by Box_v11_medium_train_SIXray_OPIXray No objects detected Detection preview by DN_Medium_300_yolov8m_20t7_new knife Detection preview by Segmentatation_v8_medium_train_250 knife Detection preview by Segmentation_V11_large_300_train_300 knife Detection preview by Segmentation_v8_large_300_train_300
Original Image: P03162.jpg
GT: gun, knife
gun, knife Detection preview by Box_v11_medium_train_SIXray_OPIXray gun Detection preview by DN_Medium_300_yolov8m_20t7_new gun, knife Detection preview by Segmentatation_v8_medium_train_250 gun, knife Detection preview by Segmentation_V11_large_300_train_300 gun, knife Detection preview by Segmentation_v8_large_300_train_300
Original Image: P03163.jpg
GT: gun, knife
gun, knife Detection preview by Box_v11_medium_train_SIXray_OPIXray gun Detection preview by DN_Medium_300_yolov8m_20t7_new gun, knife Detection preview by Segmentatation_v8_medium_train_250 gun, knife Detection preview by Segmentation_V11_large_300_train_300 gun, knife Detection preview by Segmentation_v8_large_300_train_300
Original Image: P03164.jpg
GT: knife
knife Detection preview by Box_v11_medium_train_SIXray_OPIXray No objects detected Detection preview by DN_Medium_300_yolov8m_20t7_new knife Detection preview by Segmentatation_v8_medium_train_250 knife Detection preview by Segmentation_V11_large_300_train_300 knife Detection preview by Segmentation_v8_large_300_train_300
Original Image: P03165.jpg
GT: gun, knife
gun, knife Detection preview by Box_v11_medium_train_SIXray_OPIXray gun Detection preview by DN_Medium_300_yolov8m_20t7_new gun, knife Detection preview by Segmentatation_v8_medium_train_250 gun, knife Detection preview by Segmentation_V11_large_300_train_300 gun, knife Detection preview by Segmentation_v8_large_300_train_300
Original Image: P03166.jpg
GT: gun, knife
gun, knife Detection preview by Box_v11_medium_train_SIXray_OPIXray No objects detected Detection preview by DN_Medium_300_yolov8m_20t7_new gun, knife Detection preview by Segmentatation_v8_medium_train_250 gun, knife Detection preview by Segmentation_V11_large_300_train_300 gun, knife Detection preview by Segmentation_v8_large_300_train_300
Original Image: P03167.jpg
GT: gun, knife
gun, knife Detection preview by Box_v11_medium_train_SIXray_OPIXray gun Detection preview by DN_Medium_300_yolov8m_20t7_new gun, knife Detection preview by Segmentatation_v8_medium_train_250 gun, knife Detection preview by Segmentation_V11_large_300_train_300 gun, knife Detection preview by Segmentation_v8_large_300_train_300
Original Image: P03168.jpg
GT: gun, knife
gun, knife Detection preview by Box_v11_medium_train_SIXray_OPIXray No objects detected Detection preview by DN_Medium_300_yolov8m_20t7_new gun, knife Detection preview by Segmentatation_v8_medium_train_250 gun, knife Detection preview by Segmentation_V11_large_300_train_300 gun, knife Detection preview by Segmentation_v8_large_300_train_300
Original Image: P03169.jpg
GT: gun, knife
gun, knife Detection preview by Box_v11_medium_train_SIXray_OPIXray No objects detected Detection preview by DN_Medium_300_yolov8m_20t7_new gun, knife Detection preview by Segmentatation_v8_medium_train_250 gun, knife Detection preview by Segmentation_V11_large_300_train_300 gun, knife Detection preview by Segmentation_v8_large_300_train_300
Original Image: P03170.jpg
GT: gun, knife
gun, knife Detection preview by Box_v11_medium_train_SIXray_OPIXray gun Detection preview by DN_Medium_300_yolov8m_20t7_new gun, knife Detection preview by Segmentatation_v8_medium_train_250 gun, knife Detection preview by Segmentation_V11_large_300_train_300 gun, knife Detection preview by Segmentation_v8_large_300_train_300
Original Image: P03171.jpg
GT: gun, wrench
gun, wrench Detection preview by Box_v11_medium_train_SIXray_OPIXray No objects detected Detection preview by DN_Medium_300_yolov8m_20t7_new gun, wrench Detection preview by Segmentatation_v8_medium_train_250 gun, wrench Detection preview by Segmentation_V11_large_300_train_300 gun, wrench Detection preview by Segmentation_v8_large_300_train_300
Original Image: P03172.jpg
GT: gun, wrench
gun, wrench Detection preview by Box_v11_medium_train_SIXray_OPIXray No objects detected Detection preview by DN_Medium_300_yolov8m_20t7_new gun, wrench Detection preview by Segmentatation_v8_medium_train_250 gun, wrench Detection preview by Segmentation_V11_large_300_train_300 gun, wrench Detection preview by Segmentation_v8_large_300_train_300
Original Image: P03173.jpg
GT: gun, wrench
gun, wrench Detection preview by Box_v11_medium_train_SIXray_OPIXray No objects detected Detection preview by DN_Medium_300_yolov8m_20t7_new gun, wrench Detection preview by Segmentatation_v8_medium_train_250 gun, wrench Detection preview by Segmentation_V11_large_300_train_300 gun, wrench Detection preview by Segmentation_v8_large_300_train_300
Original Image: P03174.jpg
GT: gun, wrench
gun, wrench Detection preview by Box_v11_medium_train_SIXray_OPIXray No objects detected Detection preview by DN_Medium_300_yolov8m_20t7_new gun, wrench Detection preview by Segmentatation_v8_medium_train_250 gun, wrench Detection preview by Segmentation_V11_large_300_train_300 gun, wrench Detection preview by Segmentation_v8_large_300_train_300
Original Image: P03175.jpg
GT: gun, wrench
gun, wrench Detection preview by Box_v11_medium_train_SIXray_OPIXray No objects detected Detection preview by DN_Medium_300_yolov8m_20t7_new gun Detection preview by Segmentatation_v8_medium_train_250 gun Detection preview by Segmentation_V11_large_300_train_300 gun Detection preview by Segmentation_v8_large_300_train_300
Original Image: P03176.jpg
GT: gun, wrench
gun, wrench Detection preview by Box_v11_medium_train_SIXray_OPIXray No objects detected Detection preview by DN_Medium_300_yolov8m_20t7_new gun, wrench Detection preview by Segmentatation_v8_medium_train_250 gun, wrench Detection preview by Segmentation_V11_large_300_train_300 gun, wrench Detection preview by Segmentation_v8_large_300_train_300
Original Image: P03177.jpg
GT: gun, knife
gun, knife Detection preview by Box_v11_medium_train_SIXray_OPIXray No objects detected Detection preview by DN_Medium_300_yolov8m_20t7_new gun, knife Detection preview by Segmentatation_v8_medium_train_250 gun, knife Detection preview by Segmentation_V11_large_300_train_300 gun, knife Detection preview by Segmentation_v8_large_300_train_300
Original Image: P03178.jpg
GT: gun, knife
gun, knife Detection preview by Box_v11_medium_train_SIXray_OPIXray No objects detected Detection preview by DN_Medium_300_yolov8m_20t7_new gun, knife Detection preview by Segmentatation_v8_medium_train_250 gun, knife Detection preview by Segmentation_V11_large_300_train_300 gun, knife Detection preview by Segmentation_v8_large_300_train_300
Original Image: P03179.jpg
GT: gun
gun Detection preview by Box_v11_medium_train_SIXray_OPIXray No objects detected Detection preview by DN_Medium_300_yolov8m_20t7_new gun Detection preview by Segmentatation_v8_medium_train_250 gun Detection preview by Segmentation_V11_large_300_train_300 gun Detection preview by Segmentation_v8_large_300_train_300
Original Image: P03180.jpg
GT: gun
gun Detection preview by Box_v11_medium_train_SIXray_OPIXray No objects detected Detection preview by DN_Medium_300_yolov8m_20t7_new gun Detection preview by Segmentatation_v8_medium_train_250 gun Detection preview by Segmentation_V11_large_300_train_300 gun Detection preview by Segmentation_v8_large_300_train_300
Original Image: P03181.jpg
GT: gun
gun Detection preview by Box_v11_medium_train_SIXray_OPIXray No objects detected Detection preview by DN_Medium_300_yolov8m_20t7_new gun Detection preview by Segmentatation_v8_medium_train_250 gun Detection preview by Segmentation_V11_large_300_train_300 gun Detection preview by Segmentation_v8_large_300_train_300
Original Image: P03182.jpg
GT: gun
gun Detection preview by Box_v11_medium_train_SIXray_OPIXray No objects detected Detection preview by DN_Medium_300_yolov8m_20t7_new gun Detection preview by Segmentatation_v8_medium_train_250 gun Detection preview by Segmentation_V11_large_300_train_300 gun Detection preview by Segmentation_v8_large_300_train_300
Original Image: P03183.jpg
GT: gun
gun Detection preview by Box_v11_medium_train_SIXray_OPIXray No objects detected Detection preview by DN_Medium_300_yolov8m_20t7_new gun Detection preview by Segmentatation_v8_medium_train_250 gun Detection preview by Segmentation_V11_large_300_train_300 gun Detection preview by Segmentation_v8_large_300_train_300
Original Image: P03184.jpg
GT: gun
gun Detection preview by Box_v11_medium_train_SIXray_OPIXray No objects detected Detection preview by DN_Medium_300_yolov8m_20t7_new gun Detection preview by Segmentatation_v8_medium_train_250 gun Detection preview by Segmentation_V11_large_300_train_300 gun Detection preview by Segmentation_v8_large_300_train_300
Original Image: P03185.jpg
GT: gun
gun Detection preview by Box_v11_medium_train_SIXray_OPIXray No objects detected Detection preview by DN_Medium_300_yolov8m_20t7_new gun Detection preview by Segmentatation_v8_medium_train_250 gun Detection preview by Segmentation_V11_large_300_train_300 gun Detection preview by Segmentation_v8_large_300_train_300
Original Image: P03186.jpg
GT: gun
gun Detection preview by Box_v11_medium_train_SIXray_OPIXray No objects detected Detection preview by DN_Medium_300_yolov8m_20t7_new gun Detection preview by Segmentatation_v8_medium_train_250 gun Detection preview by Segmentation_V11_large_300_train_300 gun Detection preview by Segmentation_v8_large_300_train_300
Original Image: P03187.jpg
GT: gun
gun Detection preview by Box_v11_medium_train_SIXray_OPIXray No objects detected Detection preview by DN_Medium_300_yolov8m_20t7_new gun Detection preview by Segmentatation_v8_medium_train_250 gun Detection preview by Segmentation_V11_large_300_train_300 gun Detection preview by Segmentation_v8_large_300_train_300
Original Image: P03188.jpg
GT: gun
gun Detection preview by Box_v11_medium_train_SIXray_OPIXray No objects detected Detection preview by DN_Medium_300_yolov8m_20t7_new gun Detection preview by Segmentatation_v8_medium_train_250 gun Detection preview by Segmentation_V11_large_300_train_300 gun Detection preview by Segmentation_v8_large_300_train_300
Original Image: P03189.jpg
GT: gun
gun Detection preview by Box_v11_medium_train_SIXray_OPIXray No objects detected Detection preview by DN_Medium_300_yolov8m_20t7_new gun Detection preview by Segmentatation_v8_medium_train_250 gun Detection preview by Segmentation_V11_large_300_train_300 gun Detection preview by Segmentation_v8_large_300_train_300
Original Image: P03190.jpg
GT: gun
gun Detection preview by Box_v11_medium_train_SIXray_OPIXray No objects detected Detection preview by DN_Medium_300_yolov8m_20t7_new gun Detection preview by Segmentatation_v8_medium_train_250 gun Detection preview by Segmentation_V11_large_300_train_300 gun Detection preview by Segmentation_v8_large_300_train_300
Original Image: P03191.jpg
GT: gun
gun Detection preview by Box_v11_medium_train_SIXray_OPIXray No objects detected Detection preview by DN_Medium_300_yolov8m_20t7_new gun Detection preview by Segmentatation_v8_medium_train_250 gun Detection preview by Segmentation_V11_large_300_train_300 gun Detection preview by Segmentation_v8_large_300_train_300
Original Image: P03192.jpg
GT: gun
gun Detection preview by Box_v11_medium_train_SIXray_OPIXray No objects detected Detection preview by DN_Medium_300_yolov8m_20t7_new gun Detection preview by Segmentatation_v8_medium_train_250 gun Detection preview by Segmentation_V11_large_300_train_300 gun Detection preview by Segmentation_v8_large_300_train_300
Original Image: P03193.jpg
GT: gun
gun Detection preview by Box_v11_medium_train_SIXray_OPIXray No objects detected Detection preview by DN_Medium_300_yolov8m_20t7_new gun Detection preview by Segmentatation_v8_medium_train_250 gun Detection preview by Segmentation_V11_large_300_train_300 gun Detection preview by Segmentation_v8_large_300_train_300
Original Image: P03194.jpg
GT: gun
gun Detection preview by Box_v11_medium_train_SIXray_OPIXray No objects detected Detection preview by DN_Medium_300_yolov8m_20t7_new gun Detection preview by Segmentatation_v8_medium_train_250 gun Detection preview by Segmentation_V11_large_300_train_300 gun Detection preview by Segmentation_v8_large_300_train_300
Original Image: P03195.jpg
GT: gun
gun Detection preview by Box_v11_medium_train_SIXray_OPIXray No objects detected Detection preview by DN_Medium_300_yolov8m_20t7_new gun Detection preview by Segmentatation_v8_medium_train_250 gun Detection preview by Segmentation_V11_large_300_train_300 gun Detection preview by Segmentation_v8_large_300_train_300
Original Image: P03196.jpg
GT: gun, wrench
gun, wrench Detection preview by Box_v11_medium_train_SIXray_OPIXray No objects detected Detection preview by DN_Medium_300_yolov8m_20t7_new gun, wrench Detection preview by Segmentatation_v8_medium_train_250 gun, wrench Detection preview by Segmentation_V11_large_300_train_300 gun, wrench Detection preview by Segmentation_v8_large_300_train_300
Original Image: P03197.jpg
GT: gun, wrench
gun, wrench Detection preview by Box_v11_medium_train_SIXray_OPIXray No objects detected Detection preview by DN_Medium_300_yolov8m_20t7_new gun, wrench Detection preview by Segmentatation_v8_medium_train_250 gun, wrench Detection preview by Segmentation_V11_large_300_train_300 gun, wrench Detection preview by Segmentation_v8_large_300_train_300
Original Image: P03198.jpg
GT: gun, wrench
gun, wrench Detection preview by Box_v11_medium_train_SIXray_OPIXray No objects detected Detection preview by DN_Medium_300_yolov8m_20t7_new gun, knife, wrench Detection preview by Segmentatation_v8_medium_train_250 gun, wrench Detection preview by Segmentation_V11_large_300_train_300 gun, knife, wrench Detection preview by Segmentation_v8_large_300_train_300
Original Image: P03199.jpg
GT: gun
gun Detection preview by Box_v11_medium_train_SIXray_OPIXray No objects detected Detection preview by DN_Medium_300_yolov8m_20t7_new gun Detection preview by Segmentatation_v8_medium_train_250 gun Detection preview by Segmentation_V11_large_300_train_300 gun Detection preview by Segmentation_v8_large_300_train_300
Original Image: P03200.jpg
GT: gun
gun Detection preview by Box_v11_medium_train_SIXray_OPIXray No objects detected Detection preview by DN_Medium_300_yolov8m_20t7_new gun Detection preview by Segmentatation_v8_medium_train_250 gun Detection preview by Segmentation_V11_large_300_train_300 gun Detection preview by Segmentation_v8_large_300_train_300
Original Image: P03201.jpg
GT: gun
gun Detection preview by Box_v11_medium_train_SIXray_OPIXray No objects detected Detection preview by DN_Medium_300_yolov8m_20t7_new gun Detection preview by Segmentatation_v8_medium_train_250 gun Detection preview by Segmentation_V11_large_300_train_300 gun Detection preview by Segmentation_v8_large_300_train_300
Original Image: P03202.jpg
GT: gun
gun Detection preview by Box_v11_medium_train_SIXray_OPIXray No objects detected Detection preview by DN_Medium_300_yolov8m_20t7_new gun Detection preview by Segmentatation_v8_medium_train_250 gun Detection preview by Segmentation_V11_large_300_train_300 gun Detection preview by Segmentation_v8_large_300_train_300
Original Image: P03203.jpg
GT: gun
gun Detection preview by Box_v11_medium_train_SIXray_OPIXray No objects detected Detection preview by DN_Medium_300_yolov8m_20t7_new gun Detection preview by Segmentatation_v8_medium_train_250 gun Detection preview by Segmentation_V11_large_300_train_300 gun Detection preview by Segmentation_v8_large_300_train_300
Original Image: P03204.jpg
GT: gun
gun Detection preview by Box_v11_medium_train_SIXray_OPIXray No objects detected Detection preview by DN_Medium_300_yolov8m_20t7_new gun Detection preview by Segmentatation_v8_medium_train_250 gun Detection preview by Segmentation_V11_large_300_train_300 gun Detection preview by Segmentation_v8_large_300_train_300
Original Image: P03205.jpg
GT: gun
gun Detection preview by Box_v11_medium_train_SIXray_OPIXray No objects detected Detection preview by DN_Medium_300_yolov8m_20t7_new gun Detection preview by Segmentatation_v8_medium_train_250 gun Detection preview by Segmentation_V11_large_300_train_300 gun Detection preview by Segmentation_v8_large_300_train_300
Original Image: P03206.jpg
GT: gun, wrench
gun, wrench Detection preview by Box_v11_medium_train_SIXray_OPIXray No objects detected Detection preview by DN_Medium_300_yolov8m_20t7_new gun, wrench Detection preview by Segmentatation_v8_medium_train_250 gun, wrench Detection preview by Segmentation_V11_large_300_train_300 gun, wrench Detection preview by Segmentation_v8_large_300_train_300
Original Image: P03207.jpg
GT: gun, knife, wrench
gun, knife, wrench Detection preview by Box_v11_medium_train_SIXray_OPIXray No objects detected Detection preview by DN_Medium_300_yolov8m_20t7_new gun, knife, wrench Detection preview by Segmentatation_v8_medium_train_250 gun, knife, wrench Detection preview by Segmentation_V11_large_300_train_300 gun, knife, wrench Detection preview by Segmentation_v8_large_300_train_300
Original Image: P03208.jpg
GT: gun, knife, wrench
gun, knife, wrench Detection preview by Box_v11_medium_train_SIXray_OPIXray No objects detected Detection preview by DN_Medium_300_yolov8m_20t7_new gun, knife, wrench Detection preview by Segmentatation_v8_medium_train_250 gun, knife, wrench Detection preview by Segmentation_V11_large_300_train_300 gun, knife, wrench Detection preview by Segmentation_v8_large_300_train_300
Original Image: P03209.jpg
GT: gun, knife, wrench
gun, knife, wrench Detection preview by Box_v11_medium_train_SIXray_OPIXray No objects detected Detection preview by DN_Medium_300_yolov8m_20t7_new gun, knife, wrench Detection preview by Segmentatation_v8_medium_train_250 gun, knife, wrench Detection preview by Segmentation_V11_large_300_train_300 gun, knife, wrench Detection preview by Segmentation_v8_large_300_train_300
Original Image: P03210.jpg
GT: gun, knife, wrench
gun, knife, wrench Detection preview by Box_v11_medium_train_SIXray_OPIXray No objects detected Detection preview by DN_Medium_300_yolov8m_20t7_new gun, knife, wrench Detection preview by Segmentatation_v8_medium_train_250 gun, knife, wrench Detection preview by Segmentation_V11_large_300_train_300 gun, knife, wrench Detection preview by Segmentation_v8_large_300_train_300
Original Image: P03211.jpg
GT: gun, knife, wrench
gun, knife, wrench Detection preview by Box_v11_medium_train_SIXray_OPIXray No objects detected Detection preview by DN_Medium_300_yolov8m_20t7_new gun, knife, wrench Detection preview by Segmentatation_v8_medium_train_250 gun, knife, wrench Detection preview by Segmentation_V11_large_300_train_300 gun, knife, wrench Detection preview by Segmentation_v8_large_300_train_300
Original Image: P03212.jpg
GT: gun, knife, wrench
gun, knife, wrench Detection preview by Box_v11_medium_train_SIXray_OPIXray No objects detected Detection preview by DN_Medium_300_yolov8m_20t7_new gun, knife, wrench Detection preview by Segmentatation_v8_medium_train_250 gun, knife, wrench Detection preview by Segmentation_V11_large_300_train_300 gun, knife, wrench Detection preview by Segmentation_v8_large_300_train_300
Original Image: P03213.jpg
GT: gun, knife, wrench
gun, knife, wrench Detection preview by Box_v11_medium_train_SIXray_OPIXray No objects detected Detection preview by DN_Medium_300_yolov8m_20t7_new gun, knife, wrench Detection preview by Segmentatation_v8_medium_train_250 gun, knife, wrench Detection preview by Segmentation_V11_large_300_train_300 gun, knife, wrench Detection preview by Segmentation_v8_large_300_train_300
Original Image: P03214.jpg
GT: gun, knife, wrench
gun, knife, wrench Detection preview by Box_v11_medium_train_SIXray_OPIXray No objects detected Detection preview by DN_Medium_300_yolov8m_20t7_new gun, knife, wrench Detection preview by Segmentatation_v8_medium_train_250 gun, knife, wrench Detection preview by Segmentation_V11_large_300_train_300 gun, knife, wrench Detection preview by Segmentation_v8_large_300_train_300
Original Image: P03215.jpg
GT: gun, knife, wrench
gun, knife, wrench Detection preview by Box_v11_medium_train_SIXray_OPIXray No objects detected Detection preview by DN_Medium_300_yolov8m_20t7_new gun, knife, wrench Detection preview by Segmentatation_v8_medium_train_250 gun, knife, wrench Detection preview by Segmentation_V11_large_300_train_300 gun, knife, wrench Detection preview by Segmentation_v8_large_300_train_300
Original Image: P03216.jpg
GT: gun, knife, wrench
gun, knife, wrench Detection preview by Box_v11_medium_train_SIXray_OPIXray pliers Detection preview by DN_Medium_300_yolov8m_20t7_new gun, knife, wrench Detection preview by Segmentatation_v8_medium_train_250 gun, knife, wrench Detection preview by Segmentation_V11_large_300_train_300 gun, knife, wrench Detection preview by Segmentation_v8_large_300_train_300
Original Image: P03217.jpg
GT: gun, knife, wrench
gun, knife, wrench Detection preview by Box_v11_medium_train_SIXray_OPIXray No objects detected Detection preview by DN_Medium_300_yolov8m_20t7_new gun, knife, wrench Detection preview by Segmentatation_v8_medium_train_250 gun, knife, wrench Detection preview by Segmentation_V11_large_300_train_300 gun, knife, wrench Detection preview by Segmentation_v8_large_300_train_300
Original Image: P03218.jpg
GT: knife
knife Detection preview by Box_v11_medium_train_SIXray_OPIXray No objects detected Detection preview by DN_Medium_300_yolov8m_20t7_new knife Detection preview by Segmentatation_v8_medium_train_250 knife Detection preview by Segmentation_V11_large_300_train_300 knife Detection preview by Segmentation_v8_large_300_train_300
Original Image: P03219.jpg
GT: knife
knife Detection preview by Box_v11_medium_train_SIXray_OPIXray No objects detected Detection preview by DN_Medium_300_yolov8m_20t7_new knife Detection preview by Segmentatation_v8_medium_train_250 knife Detection preview by Segmentation_V11_large_300_train_300 knife Detection preview by Segmentation_v8_large_300_train_300
Original Image: P03220.jpg
GT: knife
knife Detection preview by Box_v11_medium_train_SIXray_OPIXray No objects detected Detection preview by DN_Medium_300_yolov8m_20t7_new knife Detection preview by Segmentatation_v8_medium_train_250 knife Detection preview by Segmentation_V11_large_300_train_300 knife Detection preview by Segmentation_v8_large_300_train_300
Original Image: P03221.jpg
GT: knife
knife Detection preview by Box_v11_medium_train_SIXray_OPIXray No objects detected Detection preview by DN_Medium_300_yolov8m_20t7_new knife Detection preview by Segmentatation_v8_medium_train_250 knife Detection preview by Segmentation_V11_large_300_train_300 knife Detection preview by Segmentation_v8_large_300_train_300
Original Image: P03222.jpg
GT: knife
knife Detection preview by Box_v11_medium_train_SIXray_OPIXray No objects detected Detection preview by DN_Medium_300_yolov8m_20t7_new knife Detection preview by Segmentatation_v8_medium_train_250 knife Detection preview by Segmentation_V11_large_300_train_300 knife Detection preview by Segmentation_v8_large_300_train_300
Original Image: P03223.jpg
GT: knife
knife Detection preview by Box_v11_medium_train_SIXray_OPIXray No objects detected Detection preview by DN_Medium_300_yolov8m_20t7_new knife Detection preview by Segmentatation_v8_medium_train_250 knife Detection preview by Segmentation_V11_large_300_train_300 knife Detection preview by Segmentation_v8_large_300_train_300
Original Image: P03224.jpg
GT: knife
knife Detection preview by Box_v11_medium_train_SIXray_OPIXray No objects detected Detection preview by DN_Medium_300_yolov8m_20t7_new knife Detection preview by Segmentatation_v8_medium_train_250 knife Detection preview by Segmentation_V11_large_300_train_300 knife Detection preview by Segmentation_v8_large_300_train_300
Original Image: P03225.jpg
GT: knife
knife Detection preview by Box_v11_medium_train_SIXray_OPIXray No objects detected Detection preview by DN_Medium_300_yolov8m_20t7_new knife Detection preview by Segmentatation_v8_medium_train_250 knife Detection preview by Segmentation_V11_large_300_train_300 knife Detection preview by Segmentation_v8_large_300_train_300
Original Image: P03226.jpg
GT: knife
knife Detection preview by Box_v11_medium_train_SIXray_OPIXray No objects detected Detection preview by DN_Medium_300_yolov8m_20t7_new knife Detection preview by Segmentatation_v8_medium_train_250 knife Detection preview by Segmentation_V11_large_300_train_300 knife Detection preview by Segmentation_v8_large_300_train_300
Original Image: P03227.jpg
GT: knife
knife Detection preview by Box_v11_medium_train_SIXray_OPIXray No objects detected Detection preview by DN_Medium_300_yolov8m_20t7_new knife Detection preview by Segmentatation_v8_medium_train_250 knife Detection preview by Segmentation_V11_large_300_train_300 knife Detection preview by Segmentation_v8_large_300_train_300
Original Image: P03228.jpg
GT: knife
knife Detection preview by Box_v11_medium_train_SIXray_OPIXray No objects detected Detection preview by DN_Medium_300_yolov8m_20t7_new knife Detection preview by Segmentatation_v8_medium_train_250 knife Detection preview by Segmentation_V11_large_300_train_300 knife Detection preview by Segmentation_v8_large_300_train_300
Original Image: P03229.jpg
GT: knife
knife Detection preview by Box_v11_medium_train_SIXray_OPIXray No objects detected Detection preview by DN_Medium_300_yolov8m_20t7_new knife Detection preview by Segmentatation_v8_medium_train_250 knife Detection preview by Segmentation_V11_large_300_train_300 knife Detection preview by Segmentation_v8_large_300_train_300
Original Image: P03230.jpg
GT: knife
knife Detection preview by Box_v11_medium_train_SIXray_OPIXray No objects detected Detection preview by DN_Medium_300_yolov8m_20t7_new knife Detection preview by Segmentatation_v8_medium_train_250 knife Detection preview by Segmentation_V11_large_300_train_300 knife Detection preview by Segmentation_v8_large_300_train_300
Original Image: P03231.jpg
GT: knife
knife Detection preview by Box_v11_medium_train_SIXray_OPIXray No objects detected Detection preview by DN_Medium_300_yolov8m_20t7_new knife Detection preview by Segmentatation_v8_medium_train_250 knife Detection preview by Segmentation_V11_large_300_train_300 knife Detection preview by Segmentation_v8_large_300_train_300
Original Image: P03232.jpg
GT: knife
knife Detection preview by Box_v11_medium_train_SIXray_OPIXray No objects detected Detection preview by DN_Medium_300_yolov8m_20t7_new knife Detection preview by Segmentatation_v8_medium_train_250 knife Detection preview by Segmentation_V11_large_300_train_300 knife Detection preview by Segmentation_v8_large_300_train_300
Original Image: P03233.jpg
GT: knife
knife Detection preview by Box_v11_medium_train_SIXray_OPIXray No objects detected Detection preview by DN_Medium_300_yolov8m_20t7_new knife Detection preview by Segmentatation_v8_medium_train_250 knife Detection preview by Segmentation_V11_large_300_train_300 knife Detection preview by Segmentation_v8_large_300_train_300
Original Image: P03234.jpg
GT: knife
knife Detection preview by Box_v11_medium_train_SIXray_OPIXray No objects detected Detection preview by DN_Medium_300_yolov8m_20t7_new knife Detection preview by Segmentatation_v8_medium_train_250 knife Detection preview by Segmentation_V11_large_300_train_300 knife Detection preview by Segmentation_v8_large_300_train_300
Original Image: P03235.jpg
GT: knife
knife Detection preview by Box_v11_medium_train_SIXray_OPIXray No objects detected Detection preview by DN_Medium_300_yolov8m_20t7_new knife Detection preview by Segmentatation_v8_medium_train_250 knife Detection preview by Segmentation_V11_large_300_train_300 knife Detection preview by Segmentation_v8_large_300_train_300
Original Image: P03236.jpg
GT: knife
knife Detection preview by Box_v11_medium_train_SIXray_OPIXray No objects detected Detection preview by DN_Medium_300_yolov8m_20t7_new knife Detection preview by Segmentatation_v8_medium_train_250 knife Detection preview by Segmentation_V11_large_300_train_300 knife Detection preview by Segmentation_v8_large_300_train_300
Original Image: P03237.jpg
GT: knife, wrench
knife, wrench Detection preview by Box_v11_medium_train_SIXray_OPIXray No objects detected Detection preview by DN_Medium_300_yolov8m_20t7_new knife, wrench Detection preview by Segmentatation_v8_medium_train_250 knife, wrench Detection preview by Segmentation_V11_large_300_train_300 knife, wrench Detection preview by Segmentation_v8_large_300_train_300
Original Image: P03238.jpg
GT: knife, wrench
knife, wrench Detection preview by Box_v11_medium_train_SIXray_OPIXray No objects detected Detection preview by DN_Medium_300_yolov8m_20t7_new knife, wrench Detection preview by Segmentatation_v8_medium_train_250 knife, wrench Detection preview by Segmentation_V11_large_300_train_300 knife, wrench Detection preview by Segmentation_v8_large_300_train_300
Original Image: P03239.jpg
GT: knife, wrench
knife, wrench Detection preview by Box_v11_medium_train_SIXray_OPIXray No objects detected Detection preview by DN_Medium_300_yolov8m_20t7_new knife, wrench Detection preview by Segmentatation_v8_medium_train_250 knife, wrench Detection preview by Segmentation_V11_large_300_train_300 knife, wrench Detection preview by Segmentation_v8_large_300_train_300
Original Image: P03240.jpg
GT: gun, knife, wrench
gun, knife, wrench Detection preview by Box_v11_medium_train_SIXray_OPIXray No objects detected Detection preview by DN_Medium_300_yolov8m_20t7_new gun, knife, wrench Detection preview by Segmentatation_v8_medium_train_250 gun, knife, wrench Detection preview by Segmentation_V11_large_300_train_300 gun, knife, wrench Detection preview by Segmentation_v8_large_300_train_300
Original Image: P03241.jpg
GT: knife, wrench
knife, wrench Detection preview by Box_v11_medium_train_SIXray_OPIXray No objects detected Detection preview by DN_Medium_300_yolov8m_20t7_new knife, wrench Detection preview by Segmentatation_v8_medium_train_250 knife, wrench Detection preview by Segmentation_V11_large_300_train_300 knife, wrench Detection preview by Segmentation_v8_large_300_train_300
Original Image: P03242.jpg
GT: knife, wrench
knife, wrench Detection preview by Box_v11_medium_train_SIXray_OPIXray No objects detected Detection preview by DN_Medium_300_yolov8m_20t7_new gun, knife, wrench Detection preview by Segmentatation_v8_medium_train_250 gun, knife, wrench Detection preview by Segmentation_V11_large_300_train_300 gun, knife, wrench Detection preview by Segmentation_v8_large_300_train_300
Original Image: P03243.jpg
GT: knife, wrench
knife, wrench Detection preview by Box_v11_medium_train_SIXray_OPIXray No objects detected Detection preview by DN_Medium_300_yolov8m_20t7_new knife, wrench Detection preview by Segmentatation_v8_medium_train_250 knife, wrench Detection preview by Segmentation_V11_large_300_train_300 knife, wrench Detection preview by Segmentation_v8_large_300_train_300
Original Image: P03244.jpg
GT: knife, wrench
knife, wrench Detection preview by Box_v11_medium_train_SIXray_OPIXray No objects detected Detection preview by DN_Medium_300_yolov8m_20t7_new knife, wrench Detection preview by Segmentatation_v8_medium_train_250 knife, wrench Detection preview by Segmentation_V11_large_300_train_300 knife, wrench Detection preview by Segmentation_v8_large_300_train_300
Original Image: P03245.jpg
GT: gun, knife, wrench
gun, knife, wrench Detection preview by Box_v11_medium_train_SIXray_OPIXray No objects detected Detection preview by DN_Medium_300_yolov8m_20t7_new gun, knife, wrench Detection preview by Segmentatation_v8_medium_train_250 gun, knife, wrench Detection preview by Segmentation_V11_large_300_train_300 gun, knife, wrench Detection preview by Segmentation_v8_large_300_train_300
Original Image: P03246.jpg
GT: knife, wrench
knife, wrench Detection preview by Box_v11_medium_train_SIXray_OPIXray No objects detected Detection preview by DN_Medium_300_yolov8m_20t7_new knife, wrench Detection preview by Segmentatation_v8_medium_train_250 knife, wrench Detection preview by Segmentation_V11_large_300_train_300 knife, wrench Detection preview by Segmentation_v8_large_300_train_300
Original Image: P03247.jpg
GT: knife, wrench
knife, wrench Detection preview by Box_v11_medium_train_SIXray_OPIXray No objects detected Detection preview by DN_Medium_300_yolov8m_20t7_new knife, wrench Detection preview by Segmentatation_v8_medium_train_250 knife, wrench Detection preview by Segmentation_V11_large_300_train_300 knife, wrench Detection preview by Segmentation_v8_large_300_train_300
Original Image: P03248.jpg
GT: gun, knife, wrench
gun, knife, wrench Detection preview by Box_v11_medium_train_SIXray_OPIXray No objects detected Detection preview by DN_Medium_300_yolov8m_20t7_new gun, knife, wrench Detection preview by Segmentatation_v8_medium_train_250 gun, knife, wrench Detection preview by Segmentation_V11_large_300_train_300 gun, knife, wrench Detection preview by Segmentation_v8_large_300_train_300
Original Image: P03249.jpg
GT: knife, wrench
knife, wrench Detection preview by Box_v11_medium_train_SIXray_OPIXray No objects detected Detection preview by DN_Medium_300_yolov8m_20t7_new knife, wrench Detection preview by Segmentatation_v8_medium_train_250 knife, wrench Detection preview by Segmentation_V11_large_300_train_300 knife, wrench Detection preview by Segmentation_v8_large_300_train_300
Original Image: P03250.jpg
GT: gun, knife, wrench
gun, knife, wrench Detection preview by Box_v11_medium_train_SIXray_OPIXray No objects detected Detection preview by DN_Medium_300_yolov8m_20t7_new gun, knife, wrench Detection preview by Segmentatation_v8_medium_train_250 gun, knife, wrench Detection preview by Segmentation_V11_large_300_train_300 gun, knife, wrench Detection preview by Segmentation_v8_large_300_train_300
Original Image: P03251.jpg
GT: knife, wrench
knife, wrench Detection preview by Box_v11_medium_train_SIXray_OPIXray No objects detected Detection preview by DN_Medium_300_yolov8m_20t7_new knife, wrench Detection preview by Segmentatation_v8_medium_train_250 knife, wrench Detection preview by Segmentation_V11_large_300_train_300 knife, wrench Detection preview by Segmentation_v8_large_300_train_300
Original Image: P03252.jpg
GT: knife, wrench
knife, wrench Detection preview by Box_v11_medium_train_SIXray_OPIXray No objects detected Detection preview by DN_Medium_300_yolov8m_20t7_new knife, wrench Detection preview by Segmentatation_v8_medium_train_250 knife, wrench Detection preview by Segmentation_V11_large_300_train_300 knife, wrench Detection preview by Segmentation_v8_large_300_train_300
Original Image: P03253.jpg
GT: knife, wrench
gun, knife, wrench Detection preview by Box_v11_medium_train_SIXray_OPIXray No objects detected Detection preview by DN_Medium_300_yolov8m_20t7_new gun, knife, wrench Detection preview by Segmentatation_v8_medium_train_250 gun, knife, wrench Detection preview by Segmentation_V11_large_300_train_300 gun, knife, wrench Detection preview by Segmentation_v8_large_300_train_300
Original Image: P03254.jpg
GT: knife, wrench
knife, wrench Detection preview by Box_v11_medium_train_SIXray_OPIXray No objects detected Detection preview by DN_Medium_300_yolov8m_20t7_new knife, wrench Detection preview by Segmentatation_v8_medium_train_250 knife, wrench Detection preview by Segmentation_V11_large_300_train_300 knife, wrench Detection preview by Segmentation_v8_large_300_train_300
Original Image: P03255.jpg
GT: knife, wrench
gun, knife, wrench Detection preview by Box_v11_medium_train_SIXray_OPIXray No objects detected Detection preview by DN_Medium_300_yolov8m_20t7_new knife, wrench Detection preview by Segmentatation_v8_medium_train_250 knife, wrench Detection preview by Segmentation_V11_large_300_train_300 knife, wrench Detection preview by Segmentation_v8_large_300_train_300
Original Image: P03256.jpg
GT: knife, wrench
knife, wrench Detection preview by Box_v11_medium_train_SIXray_OPIXray No objects detected Detection preview by DN_Medium_300_yolov8m_20t7_new knife, wrench Detection preview by Segmentatation_v8_medium_train_250 knife, wrench Detection preview by Segmentation_V11_large_300_train_300 knife, wrench Detection preview by Segmentation_v8_large_300_train_300
Original Image: P03257.jpg
GT: gun, knife, wrench
gun, knife, wrench Detection preview by Box_v11_medium_train_SIXray_OPIXray No objects detected Detection preview by DN_Medium_300_yolov8m_20t7_new gun, knife, wrench Detection preview by Segmentatation_v8_medium_train_250 gun, knife, wrench Detection preview by Segmentation_V11_large_300_train_300 gun, knife, wrench Detection preview by Segmentation_v8_large_300_train_300
Original Image: P03258.jpg
GT: knife, wrench
knife, wrench Detection preview by Box_v11_medium_train_SIXray_OPIXray No objects detected Detection preview by DN_Medium_300_yolov8m_20t7_new knife, wrench Detection preview by Segmentatation_v8_medium_train_250 knife, wrench Detection preview by Segmentation_V11_large_300_train_300 knife, wrench Detection preview by Segmentation_v8_large_300_train_300
Original Image: P03259.jpg
GT: knife, wrench
knife, wrench Detection preview by Box_v11_medium_train_SIXray_OPIXray No objects detected Detection preview by DN_Medium_300_yolov8m_20t7_new knife, wrench Detection preview by Segmentatation_v8_medium_train_250 knife, wrench Detection preview by Segmentation_V11_large_300_train_300 knife, wrench Detection preview by Segmentation_v8_large_300_train_300
Original Image: P03260.jpg
GT: knife
knife Detection preview by Box_v11_medium_train_SIXray_OPIXray No objects detected Detection preview by DN_Medium_300_yolov8m_20t7_new knife Detection preview by Segmentatation_v8_medium_train_250 knife Detection preview by Segmentation_V11_large_300_train_300 knife Detection preview by Segmentation_v8_large_300_train_300
Original Image: P03261.jpg
GT: knife, wrench
knife, wrench Detection preview by Box_v11_medium_train_SIXray_OPIXray No objects detected Detection preview by DN_Medium_300_yolov8m_20t7_new knife, wrench Detection preview by Segmentatation_v8_medium_train_250 knife, wrench Detection preview by Segmentation_V11_large_300_train_300 knife, wrench Detection preview by Segmentation_v8_large_300_train_300
Original Image: P03262.jpg
GT: knife, wrench
knife, wrench Detection preview by Box_v11_medium_train_SIXray_OPIXray No objects detected Detection preview by DN_Medium_300_yolov8m_20t7_new knife, wrench Detection preview by Segmentatation_v8_medium_train_250 knife, wrench Detection preview by Segmentation_V11_large_300_train_300 knife, wrench Detection preview by Segmentation_v8_large_300_train_300
Original Image: P03263.jpg
GT: knife, wrench
knife, wrench Detection preview by Box_v11_medium_train_SIXray_OPIXray No objects detected Detection preview by DN_Medium_300_yolov8m_20t7_new knife, wrench Detection preview by Segmentatation_v8_medium_train_250 knife, wrench Detection preview by Segmentation_V11_large_300_train_300 knife, wrench Detection preview by Segmentation_v8_large_300_train_300
Original Image: P03264.jpg
GT: knife, wrench
knife, wrench Detection preview by Box_v11_medium_train_SIXray_OPIXray No objects detected Detection preview by DN_Medium_300_yolov8m_20t7_new knife, wrench Detection preview by Segmentatation_v8_medium_train_250 knife, wrench Detection preview by Segmentation_V11_large_300_train_300 knife, wrench Detection preview by Segmentation_v8_large_300_train_300
Original Image: P03265.jpg
GT: knife, wrench
knife, wrench Detection preview by Box_v11_medium_train_SIXray_OPIXray No objects detected Detection preview by DN_Medium_300_yolov8m_20t7_new knife, wrench Detection preview by Segmentatation_v8_medium_train_250 knife, wrench Detection preview by Segmentation_V11_large_300_train_300 knife, wrench Detection preview by Segmentation_v8_large_300_train_300
Original Image: P03266.jpg
GT: gun, wrench
gun, wrench Detection preview by Box_v11_medium_train_SIXray_OPIXray No objects detected Detection preview by DN_Medium_300_yolov8m_20t7_new gun, wrench Detection preview by Segmentatation_v8_medium_train_250 gun, wrench Detection preview by Segmentation_V11_large_300_train_300 gun, wrench Detection preview by Segmentation_v8_large_300_train_300
Original Image: P03267.jpg
GT: knife, wrench
knife, wrench Detection preview by Box_v11_medium_train_SIXray_OPIXray No objects detected Detection preview by DN_Medium_300_yolov8m_20t7_new knife, wrench Detection preview by Segmentatation_v8_medium_train_250 knife, wrench Detection preview by Segmentation_V11_large_300_train_300 knife, wrench Detection preview by Segmentation_v8_large_300_train_300
Original Image: P03268.jpg
GT: knife, wrench
knife, wrench Detection preview by Box_v11_medium_train_SIXray_OPIXray No objects detected Detection preview by DN_Medium_300_yolov8m_20t7_new knife, wrench Detection preview by Segmentatation_v8_medium_train_250 knife, wrench Detection preview by Segmentation_V11_large_300_train_300 knife, wrench Detection preview by Segmentation_v8_large_300_train_300
Original Image: P03269.jpg
GT: gun, wrench
gun, wrench Detection preview by Box_v11_medium_train_SIXray_OPIXray No objects detected Detection preview by DN_Medium_300_yolov8m_20t7_new gun, wrench Detection preview by Segmentatation_v8_medium_train_250 gun, wrench Detection preview by Segmentation_V11_large_300_train_300 gun, wrench Detection preview by Segmentation_v8_large_300_train_300
Original Image: P03270.jpg
GT: knife, wrench
knife, wrench Detection preview by Box_v11_medium_train_SIXray_OPIXray No objects detected Detection preview by DN_Medium_300_yolov8m_20t7_new knife, wrench Detection preview by Segmentatation_v8_medium_train_250 knife, wrench Detection preview by Segmentation_V11_large_300_train_300 knife, wrench Detection preview by Segmentation_v8_large_300_train_300
Original Image: P03271.jpg
GT: gun, wrench
gun, wrench Detection preview by Box_v11_medium_train_SIXray_OPIXray No objects detected Detection preview by DN_Medium_300_yolov8m_20t7_new gun, wrench Detection preview by Segmentatation_v8_medium_train_250 gun, wrench Detection preview by Segmentation_V11_large_300_train_300 gun, wrench Detection preview by Segmentation_v8_large_300_train_300
Original Image: P03272.jpg
GT: knife, wrench
knife, wrench Detection preview by Box_v11_medium_train_SIXray_OPIXray No objects detected Detection preview by DN_Medium_300_yolov8m_20t7_new knife, wrench Detection preview by Segmentatation_v8_medium_train_250 knife, wrench Detection preview by Segmentation_V11_large_300_train_300 knife, wrench Detection preview by Segmentation_v8_large_300_train_300
Original Image: P03273.jpg
GT: gun, wrench
gun, wrench Detection preview by Box_v11_medium_train_SIXray_OPIXray No objects detected Detection preview by DN_Medium_300_yolov8m_20t7_new gun, wrench Detection preview by Segmentatation_v8_medium_train_250 gun, wrench Detection preview by Segmentation_V11_large_300_train_300 gun, wrench Detection preview by Segmentation_v8_large_300_train_300
Original Image: P03274.jpg
GT: knife, wrench
knife, wrench Detection preview by Box_v11_medium_train_SIXray_OPIXray No objects detected Detection preview by DN_Medium_300_yolov8m_20t7_new knife, wrench Detection preview by Segmentatation_v8_medium_train_250 knife, wrench Detection preview by Segmentation_V11_large_300_train_300 knife, wrench Detection preview by Segmentation_v8_large_300_train_300
Original Image: P03275.jpg
GT: gun, wrench
gun, wrench Detection preview by Box_v11_medium_train_SIXray_OPIXray No objects detected Detection preview by DN_Medium_300_yolov8m_20t7_new gun, wrench Detection preview by Segmentatation_v8_medium_train_250 gun, wrench Detection preview by Segmentation_V11_large_300_train_300 gun, wrench Detection preview by Segmentation_v8_large_300_train_300
Original Image: P03276.jpg
GT: knife, wrench
knife, wrench Detection preview by Box_v11_medium_train_SIXray_OPIXray No objects detected Detection preview by DN_Medium_300_yolov8m_20t7_new knife, wrench Detection preview by Segmentatation_v8_medium_train_250 knife, wrench Detection preview by Segmentation_V11_large_300_train_300 knife, wrench Detection preview by Segmentation_v8_large_300_train_300
Original Image: P03277.jpg
GT: gun, wrench
gun, wrench Detection preview by Box_v11_medium_train_SIXray_OPIXray gun Detection preview by DN_Medium_300_yolov8m_20t7_new gun, wrench Detection preview by Segmentatation_v8_medium_train_250 gun, wrench Detection preview by Segmentation_V11_large_300_train_300 gun, wrench Detection preview by Segmentation_v8_large_300_train_300
Original Image: P03278.jpg
GT: gun, wrench
gun, wrench Detection preview by Box_v11_medium_train_SIXray_OPIXray No objects detected Detection preview by DN_Medium_300_yolov8m_20t7_new gun, wrench Detection preview by Segmentatation_v8_medium_train_250 gun, wrench Detection preview by Segmentation_V11_large_300_train_300 gun, wrench Detection preview by Segmentation_v8_large_300_train_300
Original Image: P03279.jpg
GT: knife
knife Detection preview by Box_v11_medium_train_SIXray_OPIXray No objects detected Detection preview by DN_Medium_300_yolov8m_20t7_new knife Detection preview by Segmentatation_v8_medium_train_250 knife Detection preview by Segmentation_V11_large_300_train_300 knife Detection preview by Segmentation_v8_large_300_train_300
Original Image: P03280.jpg
GT: gun, knife, wrench
gun, knife, wrench Detection preview by Box_v11_medium_train_SIXray_OPIXray No objects detected Detection preview by DN_Medium_300_yolov8m_20t7_new gun, knife, wrench Detection preview by Segmentatation_v8_medium_train_250 gun, knife, wrench Detection preview by Segmentation_V11_large_300_train_300 gun, knife, wrench Detection preview by Segmentation_v8_large_300_train_300
Original Image: P03281.jpg
GT: gun, knife
gun, knife Detection preview by Box_v11_medium_train_SIXray_OPIXray No objects detected Detection preview by DN_Medium_300_yolov8m_20t7_new knife Detection preview by Segmentatation_v8_medium_train_250 knife Detection preview by Segmentation_V11_large_300_train_300 knife Detection preview by Segmentation_v8_large_300_train_300
Original Image: P03282.jpg
GT: knife
knife Detection preview by Box_v11_medium_train_SIXray_OPIXray No objects detected Detection preview by DN_Medium_300_yolov8m_20t7_new knife Detection preview by Segmentatation_v8_medium_train_250 knife Detection preview by Segmentation_V11_large_300_train_300 knife Detection preview by Segmentation_v8_large_300_train_300
Original Image: P03283.jpg
GT: knife
knife Detection preview by Box_v11_medium_train_SIXray_OPIXray No objects detected Detection preview by DN_Medium_300_yolov8m_20t7_new knife Detection preview by Segmentatation_v8_medium_train_250 knife Detection preview by Segmentation_V11_large_300_train_300 knife Detection preview by Segmentation_v8_large_300_train_300
Original Image: P03284.jpg
GT: knife
knife Detection preview by Box_v11_medium_train_SIXray_OPIXray No objects detected Detection preview by DN_Medium_300_yolov8m_20t7_new knife Detection preview by Segmentatation_v8_medium_train_250 knife Detection preview by Segmentation_V11_large_300_train_300 knife Detection preview by Segmentation_v8_large_300_train_300
Original Image: P03285.jpg
GT: knife, wrench
knife, wrench Detection preview by Box_v11_medium_train_SIXray_OPIXray No objects detected Detection preview by DN_Medium_300_yolov8m_20t7_new knife, wrench Detection preview by Segmentatation_v8_medium_train_250 knife, wrench Detection preview by Segmentation_V11_large_300_train_300 knife, wrench Detection preview by Segmentation_v8_large_300_train_300
Original Image: P03286.jpg
GT: knife, wrench
knife, wrench Detection preview by Box_v11_medium_train_SIXray_OPIXray No objects detected Detection preview by DN_Medium_300_yolov8m_20t7_new knife, wrench Detection preview by Segmentatation_v8_medium_train_250 knife, wrench Detection preview by Segmentation_V11_large_300_train_300 knife, wrench Detection preview by Segmentation_v8_large_300_train_300
Original Image: P03287.jpg
GT: knife
knife Detection preview by Box_v11_medium_train_SIXray_OPIXray No objects detected Detection preview by DN_Medium_300_yolov8m_20t7_new knife Detection preview by Segmentatation_v8_medium_train_250 knife Detection preview by Segmentation_V11_large_300_train_300 knife Detection preview by Segmentation_v8_large_300_train_300
Original Image: P03288.jpg
GT: knife, wrench
knife, wrench Detection preview by Box_v11_medium_train_SIXray_OPIXray No objects detected Detection preview by DN_Medium_300_yolov8m_20t7_new knife, wrench Detection preview by Segmentatation_v8_medium_train_250 knife, wrench Detection preview by Segmentation_V11_large_300_train_300 knife, wrench Detection preview by Segmentation_v8_large_300_train_300
Original Image: P03289.jpg
GT: knife
knife Detection preview by Box_v11_medium_train_SIXray_OPIXray No objects detected Detection preview by DN_Medium_300_yolov8m_20t7_new knife Detection preview by Segmentatation_v8_medium_train_250 knife Detection preview by Segmentation_V11_large_300_train_300 knife Detection preview by Segmentation_v8_large_300_train_300
Original Image: P03290.jpg
GT: knife, wrench
knife, wrench Detection preview by Box_v11_medium_train_SIXray_OPIXray No objects detected Detection preview by DN_Medium_300_yolov8m_20t7_new knife, wrench Detection preview by Segmentatation_v8_medium_train_250 knife, wrench Detection preview by Segmentation_V11_large_300_train_300 knife, wrench Detection preview by Segmentation_v8_large_300_train_300
Original Image: P03291.jpg
GT: knife
knife Detection preview by Box_v11_medium_train_SIXray_OPIXray No objects detected Detection preview by DN_Medium_300_yolov8m_20t7_new knife Detection preview by Segmentatation_v8_medium_train_250 knife Detection preview by Segmentation_V11_large_300_train_300 knife Detection preview by Segmentation_v8_large_300_train_300
Original Image: P03292.jpg
GT: gun, knife, wrench
gun, knife, wrench Detection preview by Box_v11_medium_train_SIXray_OPIXray No objects detected Detection preview by DN_Medium_300_yolov8m_20t7_new gun, knife, wrench Detection preview by Segmentatation_v8_medium_train_250 gun, knife, wrench Detection preview by Segmentation_V11_large_300_train_300 gun, knife, wrench Detection preview by Segmentation_v8_large_300_train_300
Original Image: P03293.jpg
GT: knife
knife Detection preview by Box_v11_medium_train_SIXray_OPIXray No objects detected Detection preview by DN_Medium_300_yolov8m_20t7_new knife Detection preview by Segmentatation_v8_medium_train_250 knife Detection preview by Segmentation_V11_large_300_train_300 knife Detection preview by Segmentation_v8_large_300_train_300
Original Image: P03294.jpg
GT: knife
knife Detection preview by Box_v11_medium_train_SIXray_OPIXray No objects detected Detection preview by DN_Medium_300_yolov8m_20t7_new knife Detection preview by Segmentatation_v8_medium_train_250 knife Detection preview by Segmentation_V11_large_300_train_300 knife Detection preview by Segmentation_v8_large_300_train_300
Original Image: P03295.jpg
GT: gun, knife, wrench
gun, knife, wrench Detection preview by Box_v11_medium_train_SIXray_OPIXray No objects detected Detection preview by DN_Medium_300_yolov8m_20t7_new gun, knife, wrench Detection preview by Segmentatation_v8_medium_train_250 gun, knife, wrench Detection preview by Segmentation_V11_large_300_train_300 gun, knife, wrench Detection preview by Segmentation_v8_large_300_train_300
Original Image: P03296.jpg
GT: knife
knife Detection preview by Box_v11_medium_train_SIXray_OPIXray No objects detected Detection preview by DN_Medium_300_yolov8m_20t7_new knife Detection preview by Segmentatation_v8_medium_train_250 knife Detection preview by Segmentation_V11_large_300_train_300 knife Detection preview by Segmentation_v8_large_300_train_300
Original Image: P03297.jpg
GT: gun, knife, wrench
gun, knife, wrench Detection preview by Box_v11_medium_train_SIXray_OPIXray No objects detected Detection preview by DN_Medium_300_yolov8m_20t7_new knife, wrench Detection preview by Segmentatation_v8_medium_train_250 knife, wrench Detection preview by Segmentation_V11_large_300_train_300 knife, wrench Detection preview by Segmentation_v8_large_300_train_300
Original Image: P03298.jpg
GT: knife
knife Detection preview by Box_v11_medium_train_SIXray_OPIXray No objects detected Detection preview by DN_Medium_300_yolov8m_20t7_new knife Detection preview by Segmentatation_v8_medium_train_250 knife Detection preview by Segmentation_V11_large_300_train_300 knife Detection preview by Segmentation_v8_large_300_train_300
Original Image: P03299.jpg
GT: gun, knife, wrench
gun, knife, wrench Detection preview by Box_v11_medium_train_SIXray_OPIXray No objects detected Detection preview by DN_Medium_300_yolov8m_20t7_new gun, knife, wrench Detection preview by Segmentatation_v8_medium_train_250 gun, knife, wrench Detection preview by Segmentation_V11_large_300_train_300 gun, knife, wrench Detection preview by Segmentation_v8_large_300_train_300
Original Image: P03300.jpg
GT: knife
knife Detection preview by Box_v11_medium_train_SIXray_OPIXray No objects detected Detection preview by DN_Medium_300_yolov8m_20t7_new knife Detection preview by Segmentatation_v8_medium_train_250 knife Detection preview by Segmentation_V11_large_300_train_300 knife Detection preview by Segmentation_v8_large_300_train_300
Original Image: P03301.jpg
GT: gun, knife, wrench
gun, knife, wrench Detection preview by Box_v11_medium_train_SIXray_OPIXray No objects detected Detection preview by DN_Medium_300_yolov8m_20t7_new gun, knife, wrench Detection preview by Segmentatation_v8_medium_train_250 gun, knife, wrench Detection preview by Segmentation_V11_large_300_train_300 gun, knife, wrench Detection preview by Segmentation_v8_large_300_train_300
Original Image: P03302.jpg
GT: knife
knife Detection preview by Box_v11_medium_train_SIXray_OPIXray No objects detected Detection preview by DN_Medium_300_yolov8m_20t7_new knife Detection preview by Segmentatation_v8_medium_train_250 knife Detection preview by Segmentation_V11_large_300_train_300 knife Detection preview by Segmentation_v8_large_300_train_300
Original Image: P03303.jpg
GT: knife
knife Detection preview by Box_v11_medium_train_SIXray_OPIXray No objects detected Detection preview by DN_Medium_300_yolov8m_20t7_new knife Detection preview by Segmentatation_v8_medium_train_250 knife Detection preview by Segmentation_V11_large_300_train_300 knife Detection preview by Segmentation_v8_large_300_train_300
Original Image: P03304.jpg
GT: gun, knife, wrench
gun, knife, wrench Detection preview by Box_v11_medium_train_SIXray_OPIXray No objects detected Detection preview by DN_Medium_300_yolov8m_20t7_new gun, knife, wrench Detection preview by Segmentatation_v8_medium_train_250 knife, wrench Detection preview by Segmentation_V11_large_300_train_300 knife, wrench Detection preview by Segmentation_v8_large_300_train_300
Original Image: P03305.jpg
GT: knife
knife Detection preview by Box_v11_medium_train_SIXray_OPIXray No objects detected Detection preview by DN_Medium_300_yolov8m_20t7_new knife Detection preview by Segmentatation_v8_medium_train_250 knife Detection preview by Segmentation_V11_large_300_train_300 knife Detection preview by Segmentation_v8_large_300_train_300
Original Image: P03306.jpg
GT: gun, knife, wrench
gun, knife, wrench Detection preview by Box_v11_medium_train_SIXray_OPIXray No objects detected Detection preview by DN_Medium_300_yolov8m_20t7_new gun, knife, wrench Detection preview by Segmentatation_v8_medium_train_250 knife, wrench Detection preview by Segmentation_V11_large_300_train_300 gun, knife, wrench Detection preview by Segmentation_v8_large_300_train_300
Original Image: P03307.jpg
GT: knife
knife Detection preview by Box_v11_medium_train_SIXray_OPIXray No objects detected Detection preview by DN_Medium_300_yolov8m_20t7_new knife Detection preview by Segmentatation_v8_medium_train_250 knife Detection preview by Segmentation_V11_large_300_train_300 knife Detection preview by Segmentation_v8_large_300_train_300
Original Image: P03308.jpg
GT: gun, knife, wrench
gun, knife, wrench Detection preview by Box_v11_medium_train_SIXray_OPIXray No objects detected Detection preview by DN_Medium_300_yolov8m_20t7_new gun, knife, wrench Detection preview by Segmentatation_v8_medium_train_250 gun, knife, wrench Detection preview by Segmentation_V11_large_300_train_300 gun, knife, wrench Detection preview by Segmentation_v8_large_300_train_300
Original Image: P03309.jpg
GT: knife
knife Detection preview by Box_v11_medium_train_SIXray_OPIXray No objects detected Detection preview by DN_Medium_300_yolov8m_20t7_new knife Detection preview by Segmentatation_v8_medium_train_250 knife Detection preview by Segmentation_V11_large_300_train_300 knife Detection preview by Segmentation_v8_large_300_train_300
Original Image: P03310.jpg
GT: gun
gun Detection preview by Box_v11_medium_train_SIXray_OPIXray No objects detected Detection preview by DN_Medium_300_yolov8m_20t7_new gun, knife, wrench Detection preview by Segmentatation_v8_medium_train_250 gun, knife, wrench Detection preview by Segmentation_V11_large_300_train_300 gun, knife, wrench Detection preview by Segmentation_v8_large_300_train_300
Original Image: P03311.jpg
GT: knife
knife Detection preview by Box_v11_medium_train_SIXray_OPIXray No objects detected Detection preview by DN_Medium_300_yolov8m_20t7_new knife Detection preview by Segmentatation_v8_medium_train_250 knife Detection preview by Segmentation_V11_large_300_train_300 knife Detection preview by Segmentation_v8_large_300_train_300
Original Image: P03312.jpg
GT: knife, wrench
gun, knife, wrench Detection preview by Box_v11_medium_train_SIXray_OPIXray No objects detected Detection preview by DN_Medium_300_yolov8m_20t7_new knife, wrench Detection preview by Segmentatation_v8_medium_train_250 gun, knife, wrench Detection preview by Segmentation_V11_large_300_train_300 knife, wrench Detection preview by Segmentation_v8_large_300_train_300
Original Image: P03313.jpg
GT: knife
knife Detection preview by Box_v11_medium_train_SIXray_OPIXray No objects detected Detection preview by DN_Medium_300_yolov8m_20t7_new knife Detection preview by Segmentatation_v8_medium_train_250 knife Detection preview by Segmentation_V11_large_300_train_300 knife Detection preview by Segmentation_v8_large_300_train_300
Original Image: P03314.jpg
GT: knife, wrench
gun, knife, wrench Detection preview by Box_v11_medium_train_SIXray_OPIXray No objects detected Detection preview by DN_Medium_300_yolov8m_20t7_new knife, wrench Detection preview by Segmentatation_v8_medium_train_250 knife, wrench Detection preview by Segmentation_V11_large_300_train_300 knife, wrench Detection preview by Segmentation_v8_large_300_train_300
Original Image: P03315.jpg
GT: knife
knife Detection preview by Box_v11_medium_train_SIXray_OPIXray No objects detected Detection preview by DN_Medium_300_yolov8m_20t7_new knife Detection preview by Segmentatation_v8_medium_train_250 knife Detection preview by Segmentation_V11_large_300_train_300 knife Detection preview by Segmentation_v8_large_300_train_300
Original Image: P03316.jpg
GT: knife, wrench
gun, knife, wrench Detection preview by Box_v11_medium_train_SIXray_OPIXray No objects detected Detection preview by DN_Medium_300_yolov8m_20t7_new gun, knife, wrench Detection preview by Segmentatation_v8_medium_train_250 gun, knife, wrench Detection preview by Segmentation_V11_large_300_train_300 gun, knife, wrench Detection preview by Segmentation_v8_large_300_train_300
Original Image: P03317.jpg
GT: knife
knife Detection preview by Box_v11_medium_train_SIXray_OPIXray No objects detected Detection preview by DN_Medium_300_yolov8m_20t7_new knife Detection preview by Segmentatation_v8_medium_train_250 knife Detection preview by Segmentation_V11_large_300_train_300 knife Detection preview by Segmentation_v8_large_300_train_300
Original Image: P03318.jpg
GT: gun, knife, wrench
gun, knife, wrench Detection preview by Box_v11_medium_train_SIXray_OPIXray No objects detected Detection preview by DN_Medium_300_yolov8m_20t7_new knife, wrench Detection preview by Segmentatation_v8_medium_train_250 knife, wrench Detection preview by Segmentation_V11_large_300_train_300 gun, knife, wrench Detection preview by Segmentation_v8_large_300_train_300
Original Image: P03319.jpg
GT: knife
knife Detection preview by Box_v11_medium_train_SIXray_OPIXray No objects detected Detection preview by DN_Medium_300_yolov8m_20t7_new knife Detection preview by Segmentatation_v8_medium_train_250 knife Detection preview by Segmentation_V11_large_300_train_300 knife Detection preview by Segmentation_v8_large_300_train_300
Original Image: P03320.jpg
GT: gun, knife, wrench
gun, knife, wrench Detection preview by Box_v11_medium_train_SIXray_OPIXray No objects detected Detection preview by DN_Medium_300_yolov8m_20t7_new gun, knife, wrench Detection preview by Segmentatation_v8_medium_train_250 gun, knife, wrench Detection preview by Segmentation_V11_large_300_train_300 gun, knife, wrench Detection preview by Segmentation_v8_large_300_train_300
Original Image: P03321.jpg
GT: knife
knife Detection preview by Box_v11_medium_train_SIXray_OPIXray No objects detected Detection preview by DN_Medium_300_yolov8m_20t7_new knife Detection preview by Segmentatation_v8_medium_train_250 knife Detection preview by Segmentation_V11_large_300_train_300 knife Detection preview by Segmentation_v8_large_300_train_300
Original Image: P03322.jpg
GT: knife, wrench
gun, knife, wrench Detection preview by Box_v11_medium_train_SIXray_OPIXray No objects detected Detection preview by DN_Medium_300_yolov8m_20t7_new gun, knife, wrench Detection preview by Segmentatation_v8_medium_train_250 gun, knife, wrench Detection preview by Segmentation_V11_large_300_train_300 gun, knife, wrench Detection preview by Segmentation_v8_large_300_train_300
Original Image: P03323.jpg
GT: knife
knife Detection preview by Box_v11_medium_train_SIXray_OPIXray No objects detected Detection preview by DN_Medium_300_yolov8m_20t7_new knife Detection preview by Segmentatation_v8_medium_train_250 knife Detection preview by Segmentation_V11_large_300_train_300 knife Detection preview by Segmentation_v8_large_300_train_300
Original Image: P03324.jpg
GT: gun, wrench
gun, wrench Detection preview by Box_v11_medium_train_SIXray_OPIXray No objects detected Detection preview by DN_Medium_300_yolov8m_20t7_new gun, knife, wrench Detection preview by Segmentatation_v8_medium_train_250 gun, knife, wrench Detection preview by Segmentation_V11_large_300_train_300 gun, knife, wrench Detection preview by Segmentation_v8_large_300_train_300
Original Image: P03325.jpg
GT: knife
knife Detection preview by Box_v11_medium_train_SIXray_OPIXray No objects detected Detection preview by DN_Medium_300_yolov8m_20t7_new knife Detection preview by Segmentatation_v8_medium_train_250 knife Detection preview by Segmentation_V11_large_300_train_300 knife Detection preview by Segmentation_v8_large_300_train_300
Original Image: P03326.jpg
GT: gun, knife, wrench
gun, knife, wrench Detection preview by Box_v11_medium_train_SIXray_OPIXray No objects detected Detection preview by DN_Medium_300_yolov8m_20t7_new knife, wrench Detection preview by Segmentatation_v8_medium_train_250 knife, wrench Detection preview by Segmentation_V11_large_300_train_300 knife, wrench Detection preview by Segmentation_v8_large_300_train_300
Original Image: P03327.jpg
GT: knife
knife Detection preview by Box_v11_medium_train_SIXray_OPIXray No objects detected Detection preview by DN_Medium_300_yolov8m_20t7_new knife Detection preview by Segmentatation_v8_medium_train_250 knife Detection preview by Segmentation_V11_large_300_train_300 knife Detection preview by Segmentation_v8_large_300_train_300
Original Image: P03328.jpg
GT: knife, wrench
gun, knife, wrench Detection preview by Box_v11_medium_train_SIXray_OPIXray No objects detected Detection preview by DN_Medium_300_yolov8m_20t7_new knife, wrench Detection preview by Segmentatation_v8_medium_train_250 gun, knife, wrench Detection preview by Segmentation_V11_large_300_train_300 gun, knife, wrench Detection preview by Segmentation_v8_large_300_train_300
Original Image: P03329.jpg
GT: gun, knife, wrench
gun, knife, wrench Detection preview by Box_v11_medium_train_SIXray_OPIXray No objects detected Detection preview by DN_Medium_300_yolov8m_20t7_new gun, knife, wrench Detection preview by Segmentatation_v8_medium_train_250 knife, wrench Detection preview by Segmentation_V11_large_300_train_300 gun, knife, wrench Detection preview by Segmentation_v8_large_300_train_300
Original Image: P03330.jpg
GT: knife
knife Detection preview by Box_v11_medium_train_SIXray_OPIXray No objects detected Detection preview by DN_Medium_300_yolov8m_20t7_new knife Detection preview by Segmentatation_v8_medium_train_250 knife Detection preview by Segmentation_V11_large_300_train_300 knife Detection preview by Segmentation_v8_large_300_train_300
Original Image: P03331.jpg
GT: gun, knife, wrench
gun, knife, wrench Detection preview by Box_v11_medium_train_SIXray_OPIXray No objects detected Detection preview by DN_Medium_300_yolov8m_20t7_new gun, knife, wrench Detection preview by Segmentatation_v8_medium_train_250 gun, knife, wrench Detection preview by Segmentation_V11_large_300_train_300 gun, knife, wrench Detection preview by Segmentation_v8_large_300_train_300
Original Image: P03332.jpg
GT: knife
knife Detection preview by Box_v11_medium_train_SIXray_OPIXray No objects detected Detection preview by DN_Medium_300_yolov8m_20t7_new knife Detection preview by Segmentatation_v8_medium_train_250 knife Detection preview by Segmentation_V11_large_300_train_300 knife Detection preview by Segmentation_v8_large_300_train_300
Original Image: P03333.jpg
GT: knife
knife Detection preview by Box_v11_medium_train_SIXray_OPIXray No objects detected Detection preview by DN_Medium_300_yolov8m_20t7_new knife Detection preview by Segmentatation_v8_medium_train_250 knife Detection preview by Segmentation_V11_large_300_train_300 knife Detection preview by Segmentation_v8_large_300_train_300
Original Image: P03334.jpg
GT: gun, knife, wrench
gun, knife, wrench Detection preview by Box_v11_medium_train_SIXray_OPIXray No objects detected Detection preview by DN_Medium_300_yolov8m_20t7_new gun, knife, wrench Detection preview by Segmentatation_v8_medium_train_250 gun, knife, wrench Detection preview by Segmentation_V11_large_300_train_300 gun, knife, wrench Detection preview by Segmentation_v8_large_300_train_300
Original Image: P03335.jpg
GT: knife
knife Detection preview by Box_v11_medium_train_SIXray_OPIXray No objects detected Detection preview by DN_Medium_300_yolov8m_20t7_new knife Detection preview by Segmentatation_v8_medium_train_250 knife Detection preview by Segmentation_V11_large_300_train_300 knife Detection preview by Segmentation_v8_large_300_train_300
Original Image: P03336.jpg
GT: gun, knife, wrench
gun, knife, wrench Detection preview by Box_v11_medium_train_SIXray_OPIXray No objects detected Detection preview by DN_Medium_300_yolov8m_20t7_new gun, knife, wrench Detection preview by Segmentatation_v8_medium_train_250 gun, knife, wrench Detection preview by Segmentation_V11_large_300_train_300 gun, knife, wrench Detection preview by Segmentation_v8_large_300_train_300
Original Image: P03337.jpg
GT: knife
knife Detection preview by Box_v11_medium_train_SIXray_OPIXray No objects detected Detection preview by DN_Medium_300_yolov8m_20t7_new knife Detection preview by Segmentatation_v8_medium_train_250 knife Detection preview by Segmentation_V11_large_300_train_300 knife Detection preview by Segmentation_v8_large_300_train_300
Original Image: P03338.jpg
GT: knife
knife Detection preview by Box_v11_medium_train_SIXray_OPIXray No objects detected Detection preview by DN_Medium_300_yolov8m_20t7_new knife Detection preview by Segmentatation_v8_medium_train_250 knife Detection preview by Segmentation_V11_large_300_train_300 knife Detection preview by Segmentation_v8_large_300_train_300
Original Image: P03339.jpg
GT: knife
knife Detection preview by Box_v11_medium_train_SIXray_OPIXray gun Detection preview by DN_Medium_300_yolov8m_20t7_new knife Detection preview by Segmentatation_v8_medium_train_250 knife Detection preview by Segmentation_V11_large_300_train_300 knife Detection preview by Segmentation_v8_large_300_train_300
Original Image: P03340.jpg
GT: knife, wrench
gun, knife, wrench Detection preview by Box_v11_medium_train_SIXray_OPIXray No objects detected Detection preview by DN_Medium_300_yolov8m_20t7_new knife, wrench Detection preview by Segmentatation_v8_medium_train_250 gun, knife, scissor, wrench Detection preview by Segmentation_V11_large_300_train_300 gun, knife, wrench Detection preview by Segmentation_v8_large_300_train_300
Original Image: P03341.jpg
GT: knife
knife Detection preview by Box_v11_medium_train_SIXray_OPIXray No objects detected Detection preview by DN_Medium_300_yolov8m_20t7_new knife Detection preview by Segmentatation_v8_medium_train_250 knife Detection preview by Segmentation_V11_large_300_train_300 knife Detection preview by Segmentation_v8_large_300_train_300
Original Image: P03342.jpg
GT: knife
knife Detection preview by Box_v11_medium_train_SIXray_OPIXray No objects detected Detection preview by DN_Medium_300_yolov8m_20t7_new knife Detection preview by Segmentatation_v8_medium_train_250 knife Detection preview by Segmentation_V11_large_300_train_300 knife Detection preview by Segmentation_v8_large_300_train_300
Original Image: P03343.jpg
GT: knife
knife Detection preview by Box_v11_medium_train_SIXray_OPIXray No objects detected Detection preview by DN_Medium_300_yolov8m_20t7_new knife Detection preview by Segmentatation_v8_medium_train_250 knife Detection preview by Segmentation_V11_large_300_train_300 knife Detection preview by Segmentation_v8_large_300_train_300
Original Image: P03344.jpg
GT: knife, wrench
knife, wrench Detection preview by Box_v11_medium_train_SIXray_OPIXray No objects detected Detection preview by DN_Medium_300_yolov8m_20t7_new gun, knife, wrench Detection preview by Segmentatation_v8_medium_train_250 gun, knife, wrench Detection preview by Segmentation_V11_large_300_train_300 gun, knife, wrench Detection preview by Segmentation_v8_large_300_train_300
Original Image: P03345.jpg
GT: knife
knife Detection preview by Box_v11_medium_train_SIXray_OPIXray No objects detected Detection preview by DN_Medium_300_yolov8m_20t7_new knife Detection preview by Segmentatation_v8_medium_train_250 knife Detection preview by Segmentation_V11_large_300_train_300 knife Detection preview by Segmentation_v8_large_300_train_300
Original Image: P03346.jpg
GT: knife, wrench
gun, knife, wrench Detection preview by Box_v11_medium_train_SIXray_OPIXray No objects detected Detection preview by DN_Medium_300_yolov8m_20t7_new gun, knife, wrench Detection preview by Segmentatation_v8_medium_train_250 gun, knife, wrench Detection preview by Segmentation_V11_large_300_train_300 gun, knife, wrench Detection preview by Segmentation_v8_large_300_train_300
Original Image: P03347.jpg
GT: knife
knife Detection preview by Box_v11_medium_train_SIXray_OPIXray No objects detected Detection preview by DN_Medium_300_yolov8m_20t7_new knife Detection preview by Segmentatation_v8_medium_train_250 knife Detection preview by Segmentation_V11_large_300_train_300 knife Detection preview by Segmentation_v8_large_300_train_300
Original Image: P03348.jpg
GT: knife, wrench
gun, knife, wrench Detection preview by Box_v11_medium_train_SIXray_OPIXray pliers Detection preview by DN_Medium_300_yolov8m_20t7_new gun, knife, wrench Detection preview by Segmentatation_v8_medium_train_250 knife, wrench Detection preview by Segmentation_V11_large_300_train_300 knife, wrench Detection preview by Segmentation_v8_large_300_train_300
Original Image: P03349.jpg
GT: gun, knife, wrench
gun, knife, wrench Detection preview by Box_v11_medium_train_SIXray_OPIXray No objects detected Detection preview by DN_Medium_300_yolov8m_20t7_new gun, knife, wrench Detection preview by Segmentatation_v8_medium_train_250 gun, knife, wrench Detection preview by Segmentation_V11_large_300_train_300 gun, knife, wrench Detection preview by Segmentation_v8_large_300_train_300
Original Image: P03350.jpg
GT: knife
knife Detection preview by Box_v11_medium_train_SIXray_OPIXray No objects detected Detection preview by DN_Medium_300_yolov8m_20t7_new knife Detection preview by Segmentatation_v8_medium_train_250 knife Detection preview by Segmentation_V11_large_300_train_300 knife Detection preview by Segmentation_v8_large_300_train_300
Original Image: P03351.jpg
GT: gun, knife, wrench
gun, knife, wrench Detection preview by Box_v11_medium_train_SIXray_OPIXray No objects detected Detection preview by DN_Medium_300_yolov8m_20t7_new gun, knife, wrench Detection preview by Segmentatation_v8_medium_train_250 gun, knife, wrench Detection preview by Segmentation_V11_large_300_train_300 knife, wrench Detection preview by Segmentation_v8_large_300_train_300
Original Image: P03352.jpg
GT: knife
knife Detection preview by Box_v11_medium_train_SIXray_OPIXray No objects detected Detection preview by DN_Medium_300_yolov8m_20t7_new knife Detection preview by Segmentatation_v8_medium_train_250 knife Detection preview by Segmentation_V11_large_300_train_300 knife Detection preview by Segmentation_v8_large_300_train_300
Original Image: P03353.jpg
GT: knife, wrench
gun, knife, wrench Detection preview by Box_v11_medium_train_SIXray_OPIXray No objects detected Detection preview by DN_Medium_300_yolov8m_20t7_new gun, knife, wrench Detection preview by Segmentatation_v8_medium_train_250 gun, knife, wrench Detection preview by Segmentation_V11_large_300_train_300 gun, knife, wrench Detection preview by Segmentation_v8_large_300_train_300
Original Image: P03354.jpg
GT: knife
knife Detection preview by Box_v11_medium_train_SIXray_OPIXray No objects detected Detection preview by DN_Medium_300_yolov8m_20t7_new knife Detection preview by Segmentatation_v8_medium_train_250 knife Detection preview by Segmentation_V11_large_300_train_300 knife Detection preview by Segmentation_v8_large_300_train_300
Original Image: P03355.jpg
GT: gun, knife, wrench
gun, knife, wrench Detection preview by Box_v11_medium_train_SIXray_OPIXray No objects detected Detection preview by DN_Medium_300_yolov8m_20t7_new gun, knife, wrench Detection preview by Segmentatation_v8_medium_train_250 gun, knife, wrench Detection preview by Segmentation_V11_large_300_train_300 gun, knife, wrench Detection preview by Segmentation_v8_large_300_train_300
Original Image: P03356.jpg
GT: gun, knife, wrench
gun, knife, wrench Detection preview by Box_v11_medium_train_SIXray_OPIXray No objects detected Detection preview by DN_Medium_300_yolov8m_20t7_new gun, knife, wrench Detection preview by Segmentatation_v8_medium_train_250 gun, knife, wrench Detection preview by Segmentation_V11_large_300_train_300 gun, knife, wrench Detection preview by Segmentation_v8_large_300_train_300
Original Image: P03357.jpg
GT: gun, knife, wrench
gun, knife, wrench Detection preview by Box_v11_medium_train_SIXray_OPIXray No objects detected Detection preview by DN_Medium_300_yolov8m_20t7_new gun, knife, wrench Detection preview by Segmentatation_v8_medium_train_250 gun, knife, wrench Detection preview by Segmentation_V11_large_300_train_300 gun, knife, wrench Detection preview by Segmentation_v8_large_300_train_300
Original Image: P03358.jpg
GT: knife
knife Detection preview by Box_v11_medium_train_SIXray_OPIXray No objects detected Detection preview by DN_Medium_300_yolov8m_20t7_new knife Detection preview by Segmentatation_v8_medium_train_250 knife Detection preview by Segmentation_V11_large_300_train_300 knife Detection preview by Segmentation_v8_large_300_train_300
Original Image: P03359.jpg
GT: gun, knife, wrench
gun, knife, wrench Detection preview by Box_v11_medium_train_SIXray_OPIXray No objects detected Detection preview by DN_Medium_300_yolov8m_20t7_new gun, knife, wrench Detection preview by Segmentatation_v8_medium_train_250 gun, knife, wrench Detection preview by Segmentation_V11_large_300_train_300 gun, knife, wrench Detection preview by Segmentation_v8_large_300_train_300
Original Image: P03360.jpg
GT: knife
knife Detection preview by Box_v11_medium_train_SIXray_OPIXray No objects detected Detection preview by DN_Medium_300_yolov8m_20t7_new knife Detection preview by Segmentatation_v8_medium_train_250 knife Detection preview by Segmentation_V11_large_300_train_300 knife Detection preview by Segmentation_v8_large_300_train_300
Original Image: P03361.jpg
GT: knife
knife Detection preview by Box_v11_medium_train_SIXray_OPIXray No objects detected Detection preview by DN_Medium_300_yolov8m_20t7_new knife Detection preview by Segmentatation_v8_medium_train_250 knife Detection preview by Segmentation_V11_large_300_train_300 knife Detection preview by Segmentation_v8_large_300_train_300
Original Image: P03362.jpg
GT: knife, wrench
gun, knife, wrench Detection preview by Box_v11_medium_train_SIXray_OPIXray No objects detected Detection preview by DN_Medium_300_yolov8m_20t7_new gun, knife, wrench Detection preview by Segmentatation_v8_medium_train_250 gun, knife, wrench Detection preview by Segmentation_V11_large_300_train_300 gun, knife, wrench Detection preview by Segmentation_v8_large_300_train_300
Original Image: P03363.jpg
GT: gun, knife, wrench
gun, knife, wrench Detection preview by Box_v11_medium_train_SIXray_OPIXray No objects detected Detection preview by DN_Medium_300_yolov8m_20t7_new gun, knife, wrench Detection preview by Segmentatation_v8_medium_train_250 gun, knife, wrench Detection preview by Segmentation_V11_large_300_train_300 gun, knife, wrench Detection preview by Segmentation_v8_large_300_train_300
Original Image: P03364.jpg
GT: knife
knife Detection preview by Box_v11_medium_train_SIXray_OPIXray No objects detected Detection preview by DN_Medium_300_yolov8m_20t7_new knife Detection preview by Segmentatation_v8_medium_train_250 knife Detection preview by Segmentation_V11_large_300_train_300 knife Detection preview by Segmentation_v8_large_300_train_300
Original Image: P03365.jpg
GT: knife
knife Detection preview by Box_v11_medium_train_SIXray_OPIXray No objects detected Detection preview by DN_Medium_300_yolov8m_20t7_new knife Detection preview by Segmentatation_v8_medium_train_250 knife Detection preview by Segmentation_V11_large_300_train_300 knife Detection preview by Segmentation_v8_large_300_train_300
Original Image: P03366.jpg
GT: gun, knife, wrench
gun, knife, wrench Detection preview by Box_v11_medium_train_SIXray_OPIXray No objects detected Detection preview by DN_Medium_300_yolov8m_20t7_new knife, wrench Detection preview by Segmentatation_v8_medium_train_250 knife, scissor, wrench Detection preview by Segmentation_V11_large_300_train_300 knife, wrench Detection preview by Segmentation_v8_large_300_train_300
Original Image: P03367.jpg
GT: knife
knife Detection preview by Box_v11_medium_train_SIXray_OPIXray No objects detected Detection preview by DN_Medium_300_yolov8m_20t7_new knife Detection preview by Segmentatation_v8_medium_train_250 knife Detection preview by Segmentation_V11_large_300_train_300 knife Detection preview by Segmentation_v8_large_300_train_300
Original Image: P03368.jpg
GT: gun, knife, wrench
gun, knife, wrench Detection preview by Box_v11_medium_train_SIXray_OPIXray No objects detected Detection preview by DN_Medium_300_yolov8m_20t7_new knife, scissor, wrench Detection preview by Segmentatation_v8_medium_train_250 knife, scissor, wrench Detection preview by Segmentation_V11_large_300_train_300 knife, scissor, wrench Detection preview by Segmentation_v8_large_300_train_300
Original Image: P03369.jpg
GT: knife
knife Detection preview by Box_v11_medium_train_SIXray_OPIXray No objects detected Detection preview by DN_Medium_300_yolov8m_20t7_new knife Detection preview by Segmentatation_v8_medium_train_250 knife Detection preview by Segmentation_V11_large_300_train_300 knife Detection preview by Segmentation_v8_large_300_train_300
Original Image: P03370.jpg
GT: knife
knife Detection preview by Box_v11_medium_train_SIXray_OPIXray No objects detected Detection preview by DN_Medium_300_yolov8m_20t7_new knife Detection preview by Segmentatation_v8_medium_train_250 knife Detection preview by Segmentation_V11_large_300_train_300 knife Detection preview by Segmentation_v8_large_300_train_300
Original Image: P03371.jpg
GT: knife
knife Detection preview by Box_v11_medium_train_SIXray_OPIXray No objects detected Detection preview by DN_Medium_300_yolov8m_20t7_new knife Detection preview by Segmentatation_v8_medium_train_250 knife Detection preview by Segmentation_V11_large_300_train_300 knife Detection preview by Segmentation_v8_large_300_train_300
Original Image: P03372.jpg
GT: knife, wrench
gun, knife, wrench Detection preview by Box_v11_medium_train_SIXray_OPIXray No objects detected Detection preview by DN_Medium_300_yolov8m_20t7_new knife, wrench Detection preview by Segmentatation_v8_medium_train_250 gun, knife, wrench Detection preview by Segmentation_V11_large_300_train_300 gun, knife, wrench Detection preview by Segmentation_v8_large_300_train_300
Original Image: P03373.jpg
GT: knife
knife Detection preview by Box_v11_medium_train_SIXray_OPIXray No objects detected Detection preview by DN_Medium_300_yolov8m_20t7_new knife Detection preview by Segmentatation_v8_medium_train_250 knife Detection preview by Segmentation_V11_large_300_train_300 knife Detection preview by Segmentation_v8_large_300_train_300
Original Image: P03374.jpg
GT: gun, knife, wrench
gun, knife, wrench Detection preview by Box_v11_medium_train_SIXray_OPIXray No objects detected Detection preview by DN_Medium_300_yolov8m_20t7_new gun, knife, wrench Detection preview by Segmentatation_v8_medium_train_250 gun, knife, wrench Detection preview by Segmentation_V11_large_300_train_300 gun, knife, wrench Detection preview by Segmentation_v8_large_300_train_300
Original Image: P03375.jpg
GT: knife
knife Detection preview by Box_v11_medium_train_SIXray_OPIXray No objects detected Detection preview by DN_Medium_300_yolov8m_20t7_new knife Detection preview by Segmentatation_v8_medium_train_250 knife Detection preview by Segmentation_V11_large_300_train_300 knife Detection preview by Segmentation_v8_large_300_train_300
Original Image: P03376.jpg
GT: knife
knife Detection preview by Box_v11_medium_train_SIXray_OPIXray No objects detected Detection preview by DN_Medium_300_yolov8m_20t7_new knife Detection preview by Segmentatation_v8_medium_train_250 knife Detection preview by Segmentation_V11_large_300_train_300 knife Detection preview by Segmentation_v8_large_300_train_300
Original Image: P03377.jpg
GT: knife
knife Detection preview by Box_v11_medium_train_SIXray_OPIXray No objects detected Detection preview by DN_Medium_300_yolov8m_20t7_new knife Detection preview by Segmentatation_v8_medium_train_250 knife Detection preview by Segmentation_V11_large_300_train_300 knife Detection preview by Segmentation_v8_large_300_train_300
Original Image: P03378.jpg
GT: knife
knife Detection preview by Box_v11_medium_train_SIXray_OPIXray No objects detected Detection preview by DN_Medium_300_yolov8m_20t7_new knife Detection preview by Segmentatation_v8_medium_train_250 knife Detection preview by Segmentation_V11_large_300_train_300 knife Detection preview by Segmentation_v8_large_300_train_300
Original Image: P03379.jpg
GT: knife, scissors, wrench
gun, knife, scissor, wrench Detection preview by Box_v11_medium_train_SIXray_OPIXray No objects detected Detection preview by DN_Medium_300_yolov8m_20t7_new gun, knife, wrench Detection preview by Segmentatation_v8_medium_train_250 knife, wrench Detection preview by Segmentation_V11_large_300_train_300 gun, knife, wrench Detection preview by Segmentation_v8_large_300_train_300
Original Image: P03380.jpg
GT: knife
knife Detection preview by Box_v11_medium_train_SIXray_OPIXray No objects detected Detection preview by DN_Medium_300_yolov8m_20t7_new knife Detection preview by Segmentatation_v8_medium_train_250 knife Detection preview by Segmentation_V11_large_300_train_300 knife Detection preview by Segmentation_v8_large_300_train_300
Original Image: P03381.jpg
GT: knife, scissors, wrench
knife, scissor, wrench Detection preview by Box_v11_medium_train_SIXray_OPIXray No objects detected Detection preview by DN_Medium_300_yolov8m_20t7_new gun, knife, scissor, wrench Detection preview by Segmentatation_v8_medium_train_250 gun, knife, scissor, wrench Detection preview by Segmentation_V11_large_300_train_300 gun, knife, scissor, wrench Detection preview by Segmentation_v8_large_300_train_300
Original Image: P03382.jpg
GT: gun, knife, scissors, wrench
gun, knife, scissor, wrench Detection preview by Box_v11_medium_train_SIXray_OPIXray No objects detected Detection preview by DN_Medium_300_yolov8m_20t7_new gun, knife, scissor, wrench Detection preview by Segmentatation_v8_medium_train_250 gun, knife, scissor, wrench Detection preview by Segmentation_V11_large_300_train_300 gun, knife, scissor, wrench Detection preview by Segmentation_v8_large_300_train_300
Original Image: P03383.jpg
GT: knife
knife Detection preview by Box_v11_medium_train_SIXray_OPIXray No objects detected Detection preview by DN_Medium_300_yolov8m_20t7_new knife Detection preview by Segmentatation_v8_medium_train_250 knife Detection preview by Segmentation_V11_large_300_train_300 knife Detection preview by Segmentation_v8_large_300_train_300
Original Image: P03384.jpg
GT: gun, knife, scissors, wrench
gun, knife, scissor, wrench Detection preview by Box_v11_medium_train_SIXray_OPIXray No objects detected Detection preview by DN_Medium_300_yolov8m_20t7_new gun, knife, scissor, wrench Detection preview by Segmentatation_v8_medium_train_250 gun, knife, scissor, wrench Detection preview by Segmentation_V11_large_300_train_300 gun, knife, scissor, wrench Detection preview by Segmentation_v8_large_300_train_300
Original Image: P03385.jpg
GT: knife
gun, knife Detection preview by Box_v11_medium_train_SIXray_OPIXray No objects detected Detection preview by DN_Medium_300_yolov8m_20t7_new knife Detection preview by Segmentatation_v8_medium_train_250 knife Detection preview by Segmentation_V11_large_300_train_300 knife Detection preview by Segmentation_v8_large_300_train_300
Original Image: P03386.jpg
GT: knife
gun, knife Detection preview by Box_v11_medium_train_SIXray_OPIXray No objects detected Detection preview by DN_Medium_300_yolov8m_20t7_new knife Detection preview by Segmentatation_v8_medium_train_250 knife Detection preview by Segmentation_V11_large_300_train_300 knife Detection preview by Segmentation_v8_large_300_train_300
Original Image: P03387.jpg
GT: gun, knife, scissors, wrench
gun, knife, scissor, wrench Detection preview by Box_v11_medium_train_SIXray_OPIXray scissor Detection preview by DN_Medium_300_yolov8m_20t7_new gun, knife, scissor, wrench Detection preview by Segmentatation_v8_medium_train_250 gun, knife, scissor, wrench Detection preview by Segmentation_V11_large_300_train_300 gun, knife, scissor, wrench Detection preview by Segmentation_v8_large_300_train_300
Original Image: P03388.jpg
GT: knife
knife Detection preview by Box_v11_medium_train_SIXray_OPIXray No objects detected Detection preview by DN_Medium_300_yolov8m_20t7_new knife Detection preview by Segmentatation_v8_medium_train_250 knife Detection preview by Segmentation_V11_large_300_train_300 knife Detection preview by Segmentation_v8_large_300_train_300
Original Image: P03389.jpg
GT: knife
knife Detection preview by Box_v11_medium_train_SIXray_OPIXray No objects detected Detection preview by DN_Medium_300_yolov8m_20t7_new knife Detection preview by Segmentatation_v8_medium_train_250 knife Detection preview by Segmentation_V11_large_300_train_300 knife Detection preview by Segmentation_v8_large_300_train_300
Original Image: P03390.jpg
GT: gun, knife, scissors, wrench
gun, knife, scissor, wrench Detection preview by Box_v11_medium_train_SIXray_OPIXray No objects detected Detection preview by DN_Medium_300_yolov8m_20t7_new gun, knife, scissor, wrench Detection preview by Segmentatation_v8_medium_train_250 gun, knife, scissor, wrench Detection preview by Segmentation_V11_large_300_train_300 gun, knife, scissor, wrench Detection preview by Segmentation_v8_large_300_train_300
Original Image: P03391.jpg
GT: knife
knife Detection preview by Box_v11_medium_train_SIXray_OPIXray No objects detected Detection preview by DN_Medium_300_yolov8m_20t7_new knife Detection preview by Segmentatation_v8_medium_train_250 knife Detection preview by Segmentation_V11_large_300_train_300 knife Detection preview by Segmentation_v8_large_300_train_300
Original Image: P03392.jpg
GT: knife
knife Detection preview by Box_v11_medium_train_SIXray_OPIXray No objects detected Detection preview by DN_Medium_300_yolov8m_20t7_new knife Detection preview by Segmentatation_v8_medium_train_250 knife Detection preview by Segmentation_V11_large_300_train_300 knife Detection preview by Segmentation_v8_large_300_train_300
Original Image: P03393.jpg
GT: gun, knife, scissors, wrench
gun, knife, scissor, wrench Detection preview by Box_v11_medium_train_SIXray_OPIXray No objects detected Detection preview by DN_Medium_300_yolov8m_20t7_new gun, knife, scissor, wrench Detection preview by Segmentatation_v8_medium_train_250 gun, knife, scissor, wrench Detection preview by Segmentation_V11_large_300_train_300 gun, knife, scissor, wrench Detection preview by Segmentation_v8_large_300_train_300
Original Image: P03394.jpg
GT: gun, knife, wrench
gun, knife, wrench Detection preview by Box_v11_medium_train_SIXray_OPIXray No objects detected Detection preview by DN_Medium_300_yolov8m_20t7_new gun, knife, wrench Detection preview by Segmentatation_v8_medium_train_250 gun, knife, wrench Detection preview by Segmentation_V11_large_300_train_300 gun, knife, wrench Detection preview by Segmentation_v8_large_300_train_300
Original Image: P03395.jpg
GT: knife
knife Detection preview by Box_v11_medium_train_SIXray_OPIXray No objects detected Detection preview by DN_Medium_300_yolov8m_20t7_new knife Detection preview by Segmentatation_v8_medium_train_250 knife Detection preview by Segmentation_V11_large_300_train_300 knife Detection preview by Segmentation_v8_large_300_train_300
Original Image: P03396.jpg
GT: gun, knife, scissors, wrench
gun, knife, scissor, wrench Detection preview by Box_v11_medium_train_SIXray_OPIXray scissor Detection preview by DN_Medium_300_yolov8m_20t7_new gun, knife, scissor, wrench Detection preview by Segmentatation_v8_medium_train_250 gun, knife, scissor, wrench Detection preview by Segmentation_V11_large_300_train_300 gun, knife, scissor, wrench Detection preview by Segmentation_v8_large_300_train_300
Original Image: P03397.jpg
GT: knife
knife Detection preview by Box_v11_medium_train_SIXray_OPIXray No objects detected Detection preview by DN_Medium_300_yolov8m_20t7_new knife Detection preview by Segmentatation_v8_medium_train_250 knife Detection preview by Segmentation_V11_large_300_train_300 knife Detection preview by Segmentation_v8_large_300_train_300
Original Image: P03398.jpg
GT: gun, knife, scissors, wrench
gun, knife, scissor, wrench Detection preview by Box_v11_medium_train_SIXray_OPIXray No objects detected Detection preview by DN_Medium_300_yolov8m_20t7_new gun, knife, scissor, wrench Detection preview by Segmentatation_v8_medium_train_250 gun, knife, scissor Detection preview by Segmentation_V11_large_300_train_300 gun, knife, scissor, wrench Detection preview by Segmentation_v8_large_300_train_300
Original Image: P03399.jpg
GT: knife
knife Detection preview by Box_v11_medium_train_SIXray_OPIXray No objects detected Detection preview by DN_Medium_300_yolov8m_20t7_new knife Detection preview by Segmentatation_v8_medium_train_250 knife Detection preview by Segmentation_V11_large_300_train_300 knife Detection preview by Segmentation_v8_large_300_train_300
Original Image: P03400.jpg
GT: knife
knife Detection preview by Box_v11_medium_train_SIXray_OPIXray No objects detected Detection preview by DN_Medium_300_yolov8m_20t7_new knife Detection preview by Segmentatation_v8_medium_train_250 knife Detection preview by Segmentation_V11_large_300_train_300 knife Detection preview by Segmentation_v8_large_300_train_300
Original Image: P03401.jpg
GT: gun, knife, wrench
gun, knife, wrench Detection preview by Box_v11_medium_train_SIXray_OPIXray No objects detected Detection preview by DN_Medium_300_yolov8m_20t7_new gun, knife, scissor, wrench Detection preview by Segmentatation_v8_medium_train_250 gun, knife, scissor, wrench Detection preview by Segmentation_V11_large_300_train_300 gun, knife, scissor, wrench Detection preview by Segmentation_v8_large_300_train_300
Original Image: P03402.jpg
GT: knife
knife Detection preview by Box_v11_medium_train_SIXray_OPIXray No objects detected Detection preview by DN_Medium_300_yolov8m_20t7_new knife Detection preview by Segmentatation_v8_medium_train_250 knife Detection preview by Segmentation_V11_large_300_train_300 knife Detection preview by Segmentation_v8_large_300_train_300
Original Image: P03403.jpg
GT: knife
knife Detection preview by Box_v11_medium_train_SIXray_OPIXray No objects detected Detection preview by DN_Medium_300_yolov8m_20t7_new knife Detection preview by Segmentatation_v8_medium_train_250 knife Detection preview by Segmentation_V11_large_300_train_300 knife Detection preview by Segmentation_v8_large_300_train_300
Original Image: P03404.jpg
GT: gun, knife, scissors, wrench
gun, knife, scissor, wrench Detection preview by Box_v11_medium_train_SIXray_OPIXray No objects detected Detection preview by DN_Medium_300_yolov8m_20t7_new gun, knife, scissor, wrench Detection preview by Segmentatation_v8_medium_train_250 gun, knife, scissor, wrench Detection preview by Segmentation_V11_large_300_train_300 gun, knife, scissor, wrench Detection preview by Segmentation_v8_large_300_train_300
Original Image: P03405.jpg
GT: knife
knife Detection preview by Box_v11_medium_train_SIXray_OPIXray No objects detected Detection preview by DN_Medium_300_yolov8m_20t7_new knife Detection preview by Segmentatation_v8_medium_train_250 knife Detection preview by Segmentation_V11_large_300_train_300 knife Detection preview by Segmentation_v8_large_300_train_300
Original Image: P03406.jpg
GT: gun, knife, scissors, wrench
gun, knife, scissor, wrench Detection preview by Box_v11_medium_train_SIXray_OPIXray No objects detected Detection preview by DN_Medium_300_yolov8m_20t7_new gun, knife, scissor, wrench Detection preview by Segmentatation_v8_medium_train_250 gun, knife, scissor, wrench Detection preview by Segmentation_V11_large_300_train_300 gun, knife, scissor, wrench Detection preview by Segmentation_v8_large_300_train_300
Original Image: P03407.jpg
GT: knife
knife Detection preview by Box_v11_medium_train_SIXray_OPIXray No objects detected Detection preview by DN_Medium_300_yolov8m_20t7_new knife Detection preview by Segmentatation_v8_medium_train_250 knife Detection preview by Segmentation_V11_large_300_train_300 knife Detection preview by Segmentation_v8_large_300_train_300
Original Image: P03408.jpg
GT: gun, knife, scissors, wrench
gun, knife, scissor, wrench Detection preview by Box_v11_medium_train_SIXray_OPIXray No objects detected Detection preview by DN_Medium_300_yolov8m_20t7_new gun, knife, scissor, wrench Detection preview by Segmentatation_v8_medium_train_250 gun, knife, scissor, wrench Detection preview by Segmentation_V11_large_300_train_300 gun, knife, scissor, wrench Detection preview by Segmentation_v8_large_300_train_300
Original Image: P03409.jpg
GT: knife
knife Detection preview by Box_v11_medium_train_SIXray_OPIXray No objects detected Detection preview by DN_Medium_300_yolov8m_20t7_new knife Detection preview by Segmentatation_v8_medium_train_250 knife Detection preview by Segmentation_V11_large_300_train_300 knife Detection preview by Segmentation_v8_large_300_train_300
Original Image: P03410.jpg
GT: gun, knife, scissors, wrench
gun, knife, scissor, wrench Detection preview by Box_v11_medium_train_SIXray_OPIXray scissor Detection preview by DN_Medium_300_yolov8m_20t7_new gun, knife, scissor, wrench Detection preview by Segmentatation_v8_medium_train_250 gun, knife, scissor, wrench Detection preview by Segmentation_V11_large_300_train_300 gun, knife, scissor, wrench Detection preview by Segmentation_v8_large_300_train_300
Original Image: P03411.jpg
GT: knife
knife Detection preview by Box_v11_medium_train_SIXray_OPIXray No objects detected Detection preview by DN_Medium_300_yolov8m_20t7_new knife Detection preview by Segmentatation_v8_medium_train_250 knife Detection preview by Segmentation_V11_large_300_train_300 knife Detection preview by Segmentation_v8_large_300_train_300
Original Image: P03412.jpg
GT: knife
knife Detection preview by Box_v11_medium_train_SIXray_OPIXray No objects detected Detection preview by DN_Medium_300_yolov8m_20t7_new knife Detection preview by Segmentatation_v8_medium_train_250 knife Detection preview by Segmentation_V11_large_300_train_300 knife Detection preview by Segmentation_v8_large_300_train_300
Original Image: P03413.jpg
GT: gun, knife, scissors, wrench
gun, knife, scissor, wrench Detection preview by Box_v11_medium_train_SIXray_OPIXray No objects detected Detection preview by DN_Medium_300_yolov8m_20t7_new gun, knife, scissor, wrench Detection preview by Segmentatation_v8_medium_train_250 gun, knife, scissor, wrench Detection preview by Segmentation_V11_large_300_train_300 gun, knife, scissor, wrench Detection preview by Segmentation_v8_large_300_train_300
Original Image: P03414.jpg
GT: knife
knife Detection preview by Box_v11_medium_train_SIXray_OPIXray No objects detected Detection preview by DN_Medium_300_yolov8m_20t7_new knife Detection preview by Segmentatation_v8_medium_train_250 knife Detection preview by Segmentation_V11_large_300_train_300 knife Detection preview by Segmentation_v8_large_300_train_300
Original Image: P03415.jpg
GT: gun, knife, scissors, wrench
gun, knife, scissor, wrench Detection preview by Box_v11_medium_train_SIXray_OPIXray scissor Detection preview by DN_Medium_300_yolov8m_20t7_new gun, knife, scissor, wrench Detection preview by Segmentatation_v8_medium_train_250 gun, knife, scissor, wrench Detection preview by Segmentation_V11_large_300_train_300 gun, knife, scissor, wrench Detection preview by Segmentation_v8_large_300_train_300
Original Image: P03416.jpg
GT: knife
knife Detection preview by Box_v11_medium_train_SIXray_OPIXray No objects detected Detection preview by DN_Medium_300_yolov8m_20t7_new knife Detection preview by Segmentatation_v8_medium_train_250 knife Detection preview by Segmentation_V11_large_300_train_300 knife Detection preview by Segmentation_v8_large_300_train_300
Original Image: P03417.jpg
GT: gun, knife, scissors, wrench
gun, knife, scissor, wrench Detection preview by Box_v11_medium_train_SIXray_OPIXray No objects detected Detection preview by DN_Medium_300_yolov8m_20t7_new gun, knife, scissor, wrench Detection preview by Segmentatation_v8_medium_train_250 gun, knife, scissor, wrench Detection preview by Segmentation_V11_large_300_train_300 gun, knife, scissor, wrench Detection preview by Segmentation_v8_large_300_train_300
Original Image: P03418.jpg
GT: knife
knife Detection preview by Box_v11_medium_train_SIXray_OPIXray No objects detected Detection preview by DN_Medium_300_yolov8m_20t7_new knife Detection preview by Segmentatation_v8_medium_train_250 knife Detection preview by Segmentation_V11_large_300_train_300 knife Detection preview by Segmentation_v8_large_300_train_300
Original Image: P03419.jpg
GT: gun, knife, scissors, wrench
gun, knife, scissor, wrench Detection preview by Box_v11_medium_train_SIXray_OPIXray No objects detected Detection preview by DN_Medium_300_yolov8m_20t7_new gun, knife, wrench Detection preview by Segmentatation_v8_medium_train_250 gun, knife, wrench Detection preview by Segmentation_V11_large_300_train_300 gun, knife, wrench Detection preview by Segmentation_v8_large_300_train_300
Original Image: P03420.jpg
GT: knife
knife Detection preview by Box_v11_medium_train_SIXray_OPIXray No objects detected Detection preview by DN_Medium_300_yolov8m_20t7_new knife Detection preview by Segmentatation_v8_medium_train_250 knife Detection preview by Segmentation_V11_large_300_train_300 knife Detection preview by Segmentation_v8_large_300_train_300
Original Image: P03421.jpg
GT: gun, knife, scissors, wrench
gun, knife, scissor, wrench Detection preview by Box_v11_medium_train_SIXray_OPIXray No objects detected Detection preview by DN_Medium_300_yolov8m_20t7_new gun, knife, wrench Detection preview by Segmentatation_v8_medium_train_250 gun, knife, wrench Detection preview by Segmentation_V11_large_300_train_300 gun, knife, wrench Detection preview by Segmentation_v8_large_300_train_300
Original Image: P03422.jpg
GT: knife
knife Detection preview by Box_v11_medium_train_SIXray_OPIXray No objects detected Detection preview by DN_Medium_300_yolov8m_20t7_new knife Detection preview by Segmentatation_v8_medium_train_250 knife Detection preview by Segmentation_V11_large_300_train_300 knife Detection preview by Segmentation_v8_large_300_train_300
Original Image: P03423.jpg
GT: gun, knife, scissors, wrench
gun, knife, scissor, wrench Detection preview by Box_v11_medium_train_SIXray_OPIXray No objects detected Detection preview by DN_Medium_300_yolov8m_20t7_new gun, knife, wrench Detection preview by Segmentatation_v8_medium_train_250 gun, knife, wrench Detection preview by Segmentation_V11_large_300_train_300 gun, knife, wrench Detection preview by Segmentation_v8_large_300_train_300
Original Image: P03424.jpg
GT: knife
knife Detection preview by Box_v11_medium_train_SIXray_OPIXray No objects detected Detection preview by DN_Medium_300_yolov8m_20t7_new knife Detection preview by Segmentatation_v8_medium_train_250 knife Detection preview by Segmentation_V11_large_300_train_300 knife Detection preview by Segmentation_v8_large_300_train_300
Original Image: P03425.jpg
GT: gun, knife, scissors, wrench
gun, knife, scissor, wrench Detection preview by Box_v11_medium_train_SIXray_OPIXray No objects detected Detection preview by DN_Medium_300_yolov8m_20t7_new gun, knife, wrench Detection preview by Segmentatation_v8_medium_train_250 gun, knife, wrench Detection preview by Segmentation_V11_large_300_train_300 gun, knife, wrench Detection preview by Segmentation_v8_large_300_train_300
Original Image: P03426.jpg
GT: knife
knife Detection preview by Box_v11_medium_train_SIXray_OPIXray No objects detected Detection preview by DN_Medium_300_yolov8m_20t7_new knife Detection preview by Segmentatation_v8_medium_train_250 knife Detection preview by Segmentation_V11_large_300_train_300 knife Detection preview by Segmentation_v8_large_300_train_300
Original Image: P03427.jpg
GT: gun, knife, scissors, wrench
gun, knife, scissor, wrench Detection preview by Box_v11_medium_train_SIXray_OPIXray No objects detected Detection preview by DN_Medium_300_yolov8m_20t7_new gun, knife, scissor, wrench Detection preview by Segmentatation_v8_medium_train_250 gun, knife, scissor, wrench Detection preview by Segmentation_V11_large_300_train_300 gun, knife, scissor, wrench Detection preview by Segmentation_v8_large_300_train_300
Original Image: P03428.jpg
GT: knife
knife Detection preview by Box_v11_medium_train_SIXray_OPIXray No objects detected Detection preview by DN_Medium_300_yolov8m_20t7_new knife Detection preview by Segmentatation_v8_medium_train_250 knife Detection preview by Segmentation_V11_large_300_train_300 knife Detection preview by Segmentation_v8_large_300_train_300
Original Image: P03429.jpg
GT: knife
knife Detection preview by Box_v11_medium_train_SIXray_OPIXray No objects detected Detection preview by DN_Medium_300_yolov8m_20t7_new knife Detection preview by Segmentatation_v8_medium_train_250 knife Detection preview by Segmentation_V11_large_300_train_300 knife Detection preview by Segmentation_v8_large_300_train_300
Original Image: P03430.jpg
GT: gun, knife, scissors, wrench
gun, knife, scissor, wrench Detection preview by Box_v11_medium_train_SIXray_OPIXray No objects detected Detection preview by DN_Medium_300_yolov8m_20t7_new gun, knife, scissor, wrench Detection preview by Segmentatation_v8_medium_train_250 gun, knife, scissor, wrench Detection preview by Segmentation_V11_large_300_train_300 gun, knife, scissor, wrench Detection preview by Segmentation_v8_large_300_train_300
Original Image: P03431.jpg
GT: knife
knife Detection preview by Box_v11_medium_train_SIXray_OPIXray No objects detected Detection preview by DN_Medium_300_yolov8m_20t7_new knife Detection preview by Segmentatation_v8_medium_train_250 knife Detection preview by Segmentation_V11_large_300_train_300 knife Detection preview by Segmentation_v8_large_300_train_300
Original Image: P03432.jpg
GT: gun, knife, scissors, wrench
gun, knife, scissor, wrench Detection preview by Box_v11_medium_train_SIXray_OPIXray No objects detected Detection preview by DN_Medium_300_yolov8m_20t7_new gun, knife, scissor, wrench Detection preview by Segmentatation_v8_medium_train_250 gun, knife, scissor, wrench Detection preview by Segmentation_V11_large_300_train_300 gun, knife, scissor, wrench Detection preview by Segmentation_v8_large_300_train_300
Original Image: P03433.jpg
GT: knife
knife Detection preview by Box_v11_medium_train_SIXray_OPIXray No objects detected Detection preview by DN_Medium_300_yolov8m_20t7_new knife Detection preview by Segmentatation_v8_medium_train_250 knife Detection preview by Segmentation_V11_large_300_train_300 knife Detection preview by Segmentation_v8_large_300_train_300
Original Image: P03434.jpg
GT: gun, knife, scissors, wrench
gun, knife, scissor, wrench Detection preview by Box_v11_medium_train_SIXray_OPIXray No objects detected Detection preview by DN_Medium_300_yolov8m_20t7_new gun, knife, scissor, wrench Detection preview by Segmentatation_v8_medium_train_250 gun, knife, scissor, wrench Detection preview by Segmentation_V11_large_300_train_300 gun, knife, scissor, wrench Detection preview by Segmentation_v8_large_300_train_300
Original Image: P03435.jpg
GT: knife
knife Detection preview by Box_v11_medium_train_SIXray_OPIXray No objects detected Detection preview by DN_Medium_300_yolov8m_20t7_new knife Detection preview by Segmentatation_v8_medium_train_250 knife Detection preview by Segmentation_V11_large_300_train_300 knife Detection preview by Segmentation_v8_large_300_train_300
Original Image: P03436.jpg
GT: gun, knife, scissors, wrench
gun, knife, scissor, wrench Detection preview by Box_v11_medium_train_SIXray_OPIXray No objects detected Detection preview by DN_Medium_300_yolov8m_20t7_new gun, knife, scissor, wrench Detection preview by Segmentatation_v8_medium_train_250 gun, knife, scissor, wrench Detection preview by Segmentation_V11_large_300_train_300 gun, knife, scissor, wrench Detection preview by Segmentation_v8_large_300_train_300
Original Image: P03437.jpg
GT: knife
knife Detection preview by Box_v11_medium_train_SIXray_OPIXray No objects detected Detection preview by DN_Medium_300_yolov8m_20t7_new knife Detection preview by Segmentatation_v8_medium_train_250 knife Detection preview by Segmentation_V11_large_300_train_300 knife Detection preview by Segmentation_v8_large_300_train_300
Original Image: P03438.jpg
GT: gun, knife, scissors, wrench
gun, knife, scissor, wrench Detection preview by Box_v11_medium_train_SIXray_OPIXray No objects detected Detection preview by DN_Medium_300_yolov8m_20t7_new gun, knife, scissor, wrench Detection preview by Segmentatation_v8_medium_train_250 gun, knife, scissor, wrench Detection preview by Segmentation_V11_large_300_train_300 gun, knife, scissor, wrench Detection preview by Segmentation_v8_large_300_train_300
Original Image: P03439.jpg
GT: knife
knife Detection preview by Box_v11_medium_train_SIXray_OPIXray No objects detected Detection preview by DN_Medium_300_yolov8m_20t7_new knife Detection preview by Segmentatation_v8_medium_train_250 knife Detection preview by Segmentation_V11_large_300_train_300 knife Detection preview by Segmentation_v8_large_300_train_300
Original Image: P03440.jpg
GT: gun, knife, scissors, wrench
gun, knife, scissor, wrench Detection preview by Box_v11_medium_train_SIXray_OPIXray No objects detected Detection preview by DN_Medium_300_yolov8m_20t7_new gun, knife, scissor, wrench Detection preview by Segmentatation_v8_medium_train_250 gun, knife, scissor, wrench Detection preview by Segmentation_V11_large_300_train_300 gun, knife, scissor, wrench Detection preview by Segmentation_v8_large_300_train_300
Original Image: P03441.jpg
GT: knife
knife Detection preview by Box_v11_medium_train_SIXray_OPIXray No objects detected Detection preview by DN_Medium_300_yolov8m_20t7_new knife Detection preview by Segmentatation_v8_medium_train_250 knife Detection preview by Segmentation_V11_large_300_train_300 knife Detection preview by Segmentation_v8_large_300_train_300
Original Image: P03442.jpg
GT: gun, knife, scissors, wrench
gun, knife, scissor, wrench Detection preview by Box_v11_medium_train_SIXray_OPIXray No objects detected Detection preview by DN_Medium_300_yolov8m_20t7_new gun, knife, scissor, wrench Detection preview by Segmentatation_v8_medium_train_250 gun, knife, scissor, wrench Detection preview by Segmentation_V11_large_300_train_300 gun, knife, scissor, wrench Detection preview by Segmentation_v8_large_300_train_300
Original Image: P03443.jpg
GT: knife
knife Detection preview by Box_v11_medium_train_SIXray_OPIXray No objects detected Detection preview by DN_Medium_300_yolov8m_20t7_new knife Detection preview by Segmentatation_v8_medium_train_250 knife Detection preview by Segmentation_V11_large_300_train_300 knife Detection preview by Segmentation_v8_large_300_train_300
Original Image: P03444.jpg
GT: gun, knife, scissors, wrench
gun, knife, scissor, wrench Detection preview by Box_v11_medium_train_SIXray_OPIXray No objects detected Detection preview by DN_Medium_300_yolov8m_20t7_new gun, knife, scissor, wrench Detection preview by Segmentatation_v8_medium_train_250 gun, knife, scissor, wrench Detection preview by Segmentation_V11_large_300_train_300 gun, knife, scissor, wrench Detection preview by Segmentation_v8_large_300_train_300
Original Image: P03445.jpg
GT: knife
knife Detection preview by Box_v11_medium_train_SIXray_OPIXray No objects detected Detection preview by DN_Medium_300_yolov8m_20t7_new knife Detection preview by Segmentatation_v8_medium_train_250 knife Detection preview by Segmentation_V11_large_300_train_300 knife Detection preview by Segmentation_v8_large_300_train_300
Original Image: P03446.jpg
GT: gun, knife, pliers, wrench
gun, knife, pliers, wrench Detection preview by Box_v11_medium_train_SIXray_OPIXray No objects detected Detection preview by DN_Medium_300_yolov8m_20t7_new gun, knife, wrench Detection preview by Segmentatation_v8_medium_train_250 gun, knife, wrench Detection preview by Segmentation_V11_large_300_train_300 gun, knife, wrench Detection preview by Segmentation_v8_large_300_train_300
Original Image: P03447.jpg
GT: knife
knife Detection preview by Box_v11_medium_train_SIXray_OPIXray No objects detected Detection preview by DN_Medium_300_yolov8m_20t7_new knife Detection preview by Segmentatation_v8_medium_train_250 knife Detection preview by Segmentation_V11_large_300_train_300 knife Detection preview by Segmentation_v8_large_300_train_300
Original Image: P03448.jpg
GT: knife
knife Detection preview by Box_v11_medium_train_SIXray_OPIXray No objects detected Detection preview by DN_Medium_300_yolov8m_20t7_new knife Detection preview by Segmentatation_v8_medium_train_250 knife Detection preview by Segmentation_V11_large_300_train_300 knife Detection preview by Segmentation_v8_large_300_train_300
Original Image: P03449.jpg
GT: knife, pliers, wrench
knife, pliers, wrench Detection preview by Box_v11_medium_train_SIXray_OPIXray No objects detected Detection preview by DN_Medium_300_yolov8m_20t7_new gun, knife, wrench Detection preview by Segmentatation_v8_medium_train_250 gun, knife, wrench Detection preview by Segmentation_V11_large_300_train_300 gun, knife, wrench Detection preview by Segmentation_v8_large_300_train_300
Original Image: P03450.jpg
GT: knife
knife Detection preview by Box_v11_medium_train_SIXray_OPIXray No objects detected Detection preview by DN_Medium_300_yolov8m_20t7_new knife Detection preview by Segmentatation_v8_medium_train_250 knife Detection preview by Segmentation_V11_large_300_train_300 knife Detection preview by Segmentation_v8_large_300_train_300
Original Image: P03451.jpg
GT: gun, pliers, wrench
gun, pliers, wrench Detection preview by Box_v11_medium_train_SIXray_OPIXray pliers Detection preview by DN_Medium_300_yolov8m_20t7_new gun, wrench Detection preview by Segmentatation_v8_medium_train_250 gun, wrench Detection preview by Segmentation_V11_large_300_train_300 gun, wrench Detection preview by Segmentation_v8_large_300_train_300
Original Image: P03452.jpg
GT: knife
knife Detection preview by Box_v11_medium_train_SIXray_OPIXray No objects detected Detection preview by DN_Medium_300_yolov8m_20t7_new knife Detection preview by Segmentatation_v8_medium_train_250 knife Detection preview by Segmentation_V11_large_300_train_300 knife Detection preview by Segmentation_v8_large_300_train_300
Original Image: P03453.jpg
GT: gun, pliers, wrench
gun, pliers, wrench Detection preview by Box_v11_medium_train_SIXray_OPIXray No objects detected Detection preview by DN_Medium_300_yolov8m_20t7_new gun, wrench Detection preview by Segmentatation_v8_medium_train_250 gun, wrench Detection preview by Segmentation_V11_large_300_train_300 gun, wrench Detection preview by Segmentation_v8_large_300_train_300
Original Image: P03454.jpg
GT: knife
knife Detection preview by Box_v11_medium_train_SIXray_OPIXray No objects detected Detection preview by DN_Medium_300_yolov8m_20t7_new knife Detection preview by Segmentatation_v8_medium_train_250 knife Detection preview by Segmentation_V11_large_300_train_300 knife Detection preview by Segmentation_v8_large_300_train_300
Original Image: P03455.jpg
GT: gun, knife, pliers, wrench
gun, knife, pliers, wrench Detection preview by Box_v11_medium_train_SIXray_OPIXray No objects detected Detection preview by DN_Medium_300_yolov8m_20t7_new gun, wrench Detection preview by Segmentatation_v8_medium_train_250 gun, knife, wrench Detection preview by Segmentation_V11_large_300_train_300 gun, knife, wrench Detection preview by Segmentation_v8_large_300_train_300
Original Image: P03456.jpg
GT: gun, knife, pliers, wrench
gun, knife, pliers, wrench Detection preview by Box_v11_medium_train_SIXray_OPIXray No objects detected Detection preview by DN_Medium_300_yolov8m_20t7_new gun, knife, wrench Detection preview by Segmentatation_v8_medium_train_250 gun, knife, wrench Detection preview by Segmentation_V11_large_300_train_300 gun, knife, wrench Detection preview by Segmentation_v8_large_300_train_300
Original Image: P03457.jpg
GT: knife
knife Detection preview by Box_v11_medium_train_SIXray_OPIXray No objects detected Detection preview by DN_Medium_300_yolov8m_20t7_new knife Detection preview by Segmentatation_v8_medium_train_250 knife Detection preview by Segmentation_V11_large_300_train_300 knife Detection preview by Segmentation_v8_large_300_train_300
Original Image: P03458.jpg
GT: knife
knife Detection preview by Box_v11_medium_train_SIXray_OPIXray No objects detected Detection preview by DN_Medium_300_yolov8m_20t7_new knife Detection preview by Segmentatation_v8_medium_train_250 knife Detection preview by Segmentation_V11_large_300_train_300 knife Detection preview by Segmentation_v8_large_300_train_300
Original Image: P03459.jpg
GT: gun, knife, pliers, wrench
gun, knife, pliers, wrench Detection preview by Box_v11_medium_train_SIXray_OPIXray No objects detected Detection preview by DN_Medium_300_yolov8m_20t7_new gun, knife, wrench Detection preview by Segmentatation_v8_medium_train_250 gun, knife, wrench Detection preview by Segmentation_V11_large_300_train_300 gun, knife, wrench Detection preview by Segmentation_v8_large_300_train_300
Original Image: P03460.jpg
GT: knife
knife Detection preview by Box_v11_medium_train_SIXray_OPIXray No objects detected Detection preview by DN_Medium_300_yolov8m_20t7_new knife Detection preview by Segmentatation_v8_medium_train_250 knife Detection preview by Segmentation_V11_large_300_train_300 knife Detection preview by Segmentation_v8_large_300_train_300
Original Image: P03461.jpg
GT: gun, knife, pliers, wrench
gun, knife, pliers, wrench Detection preview by Box_v11_medium_train_SIXray_OPIXray No objects detected Detection preview by DN_Medium_300_yolov8m_20t7_new gun, knife, wrench Detection preview by Segmentatation_v8_medium_train_250 gun, knife, wrench Detection preview by Segmentation_V11_large_300_train_300 gun, knife, wrench Detection preview by Segmentation_v8_large_300_train_300
Original Image: P03462.jpg
GT: gun, knife, pliers, wrench
gun, knife, pliers, wrench Detection preview by Box_v11_medium_train_SIXray_OPIXray No objects detected Detection preview by DN_Medium_300_yolov8m_20t7_new knife, wrench Detection preview by Segmentatation_v8_medium_train_250 knife, wrench Detection preview by Segmentation_V11_large_300_train_300 knife, wrench Detection preview by Segmentation_v8_large_300_train_300
Original Image: P03463.jpg
GT: knife
knife Detection preview by Box_v11_medium_train_SIXray_OPIXray No objects detected Detection preview by DN_Medium_300_yolov8m_20t7_new knife Detection preview by Segmentatation_v8_medium_train_250 knife Detection preview by Segmentation_V11_large_300_train_300 knife Detection preview by Segmentation_v8_large_300_train_300
Original Image: P03464.jpg
GT: gun, knife, pliers, wrench
gun, knife, pliers, wrench Detection preview by Box_v11_medium_train_SIXray_OPIXray pliers Detection preview by DN_Medium_300_yolov8m_20t7_new gun, knife, wrench Detection preview by Segmentatation_v8_medium_train_250 gun, knife, wrench Detection preview by Segmentation_V11_large_300_train_300 gun, knife, wrench Detection preview by Segmentation_v8_large_300_train_300
Original Image: P03465.jpg
GT: gun, knife, pliers, wrench
gun, knife, pliers, wrench Detection preview by Box_v11_medium_train_SIXray_OPIXray No objects detected Detection preview by DN_Medium_300_yolov8m_20t7_new gun, knife, wrench Detection preview by Segmentatation_v8_medium_train_250 knife, wrench Detection preview by Segmentation_V11_large_300_train_300 knife, wrench Detection preview by Segmentation_v8_large_300_train_300
Original Image: P03466.jpg
GT: knife
knife Detection preview by Box_v11_medium_train_SIXray_OPIXray No objects detected Detection preview by DN_Medium_300_yolov8m_20t7_new knife Detection preview by Segmentatation_v8_medium_train_250 knife Detection preview by Segmentation_V11_large_300_train_300 knife Detection preview by Segmentation_v8_large_300_train_300
Original Image: P03467.jpg
GT: gun, knife, pliers, wrench
gun, knife, pliers, wrench Detection preview by Box_v11_medium_train_SIXray_OPIXray No objects detected Detection preview by DN_Medium_300_yolov8m_20t7_new gun, knife, wrench Detection preview by Segmentatation_v8_medium_train_250 gun, knife, wrench Detection preview by Segmentation_V11_large_300_train_300 gun, knife, wrench Detection preview by Segmentation_v8_large_300_train_300
Original Image: P03468.jpg
GT: knife
knife Detection preview by Box_v11_medium_train_SIXray_OPIXray No objects detected Detection preview by DN_Medium_300_yolov8m_20t7_new knife Detection preview by Segmentatation_v8_medium_train_250 knife Detection preview by Segmentation_V11_large_300_train_300 knife Detection preview by Segmentation_v8_large_300_train_300
Original Image: P03469.jpg
GT: gun, knife, pliers, wrench
gun, knife, pliers, wrench Detection preview by Box_v11_medium_train_SIXray_OPIXray No objects detected Detection preview by DN_Medium_300_yolov8m_20t7_new gun, knife, wrench Detection preview by Segmentatation_v8_medium_train_250 gun, knife, wrench Detection preview by Segmentation_V11_large_300_train_300 gun, knife, wrench Detection preview by Segmentation_v8_large_300_train_300
Original Image: P03470.jpg
GT: knife
knife, wrench Detection preview by Box_v11_medium_train_SIXray_OPIXray No objects detected Detection preview by DN_Medium_300_yolov8m_20t7_new knife, wrench Detection preview by Segmentatation_v8_medium_train_250 knife, wrench Detection preview by Segmentation_V11_large_300_train_300 knife, wrench Detection preview by Segmentation_v8_large_300_train_300
Original Image: P03471.jpg
GT: knife
knife Detection preview by Box_v11_medium_train_SIXray_OPIXray No objects detected Detection preview by DN_Medium_300_yolov8m_20t7_new knife Detection preview by Segmentatation_v8_medium_train_250 gun, knife, wrench Detection preview by Segmentation_V11_large_300_train_300 knife, wrench Detection preview by Segmentation_v8_large_300_train_300
Original Image: P03472.jpg
GT: knife, wrench
knife, wrench Detection preview by Box_v11_medium_train_SIXray_OPIXray No objects detected Detection preview by DN_Medium_300_yolov8m_20t7_new knife, wrench Detection preview by Segmentatation_v8_medium_train_250 knife, wrench Detection preview by Segmentation_V11_large_300_train_300 knife, wrench Detection preview by Segmentation_v8_large_300_train_300
Original Image: P03473.jpg
GT: gun, knife, pliers, wrench
gun, knife, pliers, wrench Detection preview by Box_v11_medium_train_SIXray_OPIXray No objects detected Detection preview by DN_Medium_300_yolov8m_20t7_new gun, knife, wrench Detection preview by Segmentatation_v8_medium_train_250 gun, knife, wrench Detection preview by Segmentation_V11_large_300_train_300 gun, knife, wrench Detection preview by Segmentation_v8_large_300_train_300
Original Image: P03474.jpg
GT: knife, wrench
knife, wrench Detection preview by Box_v11_medium_train_SIXray_OPIXray No objects detected Detection preview by DN_Medium_300_yolov8m_20t7_new knife, wrench Detection preview by Segmentatation_v8_medium_train_250 knife, wrench Detection preview by Segmentation_V11_large_300_train_300 knife, wrench Detection preview by Segmentation_v8_large_300_train_300
Original Image: P03475.jpg
GT: knife, wrench
knife, wrench Detection preview by Box_v11_medium_train_SIXray_OPIXray No objects detected Detection preview by DN_Medium_300_yolov8m_20t7_new knife, wrench Detection preview by Segmentatation_v8_medium_train_250 knife, wrench Detection preview by Segmentation_V11_large_300_train_300 knife, wrench Detection preview by Segmentation_v8_large_300_train_300
Original Image: P03476.jpg
GT: gun, knife, pliers, wrench
gun, knife, pliers, wrench Detection preview by Box_v11_medium_train_SIXray_OPIXray No objects detected Detection preview by DN_Medium_300_yolov8m_20t7_new gun, knife, wrench Detection preview by Segmentatation_v8_medium_train_250 gun, knife, wrench Detection preview by Segmentation_V11_large_300_train_300 gun, knife, wrench Detection preview by Segmentation_v8_large_300_train_300
Original Image: P03477.jpg
GT: knife, wrench
knife, wrench Detection preview by Box_v11_medium_train_SIXray_OPIXray No objects detected Detection preview by DN_Medium_300_yolov8m_20t7_new knife, wrench Detection preview by Segmentatation_v8_medium_train_250 knife, wrench Detection preview by Segmentation_V11_large_300_train_300 knife, wrench Detection preview by Segmentation_v8_large_300_train_300
Original Image: P03478.jpg
GT: gun, knife, pliers, wrench
gun, knife, pliers, wrench Detection preview by Box_v11_medium_train_SIXray_OPIXray No objects detected Detection preview by DN_Medium_300_yolov8m_20t7_new gun, knife, wrench Detection preview by Segmentatation_v8_medium_train_250 gun, knife, wrench Detection preview by Segmentation_V11_large_300_train_300 gun, knife, wrench Detection preview by Segmentation_v8_large_300_train_300
Original Image: P03479.jpg
GT: gun, knife, pliers, wrench
gun, knife, pliers, wrench Detection preview by Box_v11_medium_train_SIXray_OPIXray pliers Detection preview by DN_Medium_300_yolov8m_20t7_new knife, wrench Detection preview by Segmentatation_v8_medium_train_250 gun, knife, wrench Detection preview by Segmentation_V11_large_300_train_300 knife, wrench Detection preview by Segmentation_v8_large_300_train_300
Original Image: P03480.jpg
GT: knife, wrench
knife, wrench Detection preview by Box_v11_medium_train_SIXray_OPIXray No objects detected Detection preview by DN_Medium_300_yolov8m_20t7_new knife, wrench Detection preview by Segmentatation_v8_medium_train_250 knife, wrench Detection preview by Segmentation_V11_large_300_train_300 knife, wrench Detection preview by Segmentation_v8_large_300_train_300
Original Image: P03481.jpg
GT: knife, pliers, wrench
gun, knife, pliers, wrench Detection preview by Box_v11_medium_train_SIXray_OPIXray No objects detected Detection preview by DN_Medium_300_yolov8m_20t7_new gun, knife, wrench Detection preview by Segmentatation_v8_medium_train_250 gun, knife, wrench Detection preview by Segmentation_V11_large_300_train_300 gun, knife, wrench Detection preview by Segmentation_v8_large_300_train_300
Original Image: P03482.jpg
GT: knife, wrench
knife, wrench Detection preview by Box_v11_medium_train_SIXray_OPIXray No objects detected Detection preview by DN_Medium_300_yolov8m_20t7_new knife, wrench Detection preview by Segmentatation_v8_medium_train_250 knife, wrench Detection preview by Segmentation_V11_large_300_train_300 knife, wrench Detection preview by Segmentation_v8_large_300_train_300
Original Image: P03483.jpg
GT: gun, knife, pliers, wrench
gun, knife, pliers, wrench Detection preview by Box_v11_medium_train_SIXray_OPIXray No objects detected Detection preview by DN_Medium_300_yolov8m_20t7_new gun, knife, wrench Detection preview by Segmentatation_v8_medium_train_250 gun, knife, wrench Detection preview by Segmentation_V11_large_300_train_300 gun, knife, wrench Detection preview by Segmentation_v8_large_300_train_300
Original Image: P03484.jpg
GT: knife, wrench
knife, wrench Detection preview by Box_v11_medium_train_SIXray_OPIXray No objects detected Detection preview by DN_Medium_300_yolov8m_20t7_new knife, wrench Detection preview by Segmentatation_v8_medium_train_250 knife, wrench Detection preview by Segmentation_V11_large_300_train_300 knife, wrench Detection preview by Segmentation_v8_large_300_train_300
Original Image: P03485.jpg
GT: gun, knife, pliers, wrench
gun, knife, pliers, wrench Detection preview by Box_v11_medium_train_SIXray_OPIXray No objects detected Detection preview by DN_Medium_300_yolov8m_20t7_new gun, knife, wrench Detection preview by Segmentatation_v8_medium_train_250 gun, knife, wrench Detection preview by Segmentation_V11_large_300_train_300 gun, knife, wrench Detection preview by Segmentation_v8_large_300_train_300
Original Image: P03486.jpg
GT: knife, wrench
knife, wrench Detection preview by Box_v11_medium_train_SIXray_OPIXray No objects detected Detection preview by DN_Medium_300_yolov8m_20t7_new knife, wrench Detection preview by Segmentatation_v8_medium_train_250 knife, wrench Detection preview by Segmentation_V11_large_300_train_300 knife, wrench Detection preview by Segmentation_v8_large_300_train_300
Original Image: P03487.jpg
GT: gun, knife, pliers, wrench
gun, knife, pliers, wrench Detection preview by Box_v11_medium_train_SIXray_OPIXray No objects detected Detection preview by DN_Medium_300_yolov8m_20t7_new gun, knife, wrench Detection preview by Segmentatation_v8_medium_train_250 gun, knife, wrench Detection preview by Segmentation_V11_large_300_train_300 gun, knife, wrench Detection preview by Segmentation_v8_large_300_train_300
Original Image: P03488.jpg
GT: knife, wrench
knife, wrench Detection preview by Box_v11_medium_train_SIXray_OPIXray No objects detected Detection preview by DN_Medium_300_yolov8m_20t7_new knife, wrench Detection preview by Segmentatation_v8_medium_train_250 knife, wrench Detection preview by Segmentation_V11_large_300_train_300 knife, wrench Detection preview by Segmentation_v8_large_300_train_300
Original Image: P03489.jpg
GT: gun, knife, pliers, wrench
gun, knife, pliers, wrench Detection preview by Box_v11_medium_train_SIXray_OPIXray No objects detected Detection preview by DN_Medium_300_yolov8m_20t7_new gun, knife, wrench Detection preview by Segmentatation_v8_medium_train_250 gun, knife, wrench Detection preview by Segmentation_V11_large_300_train_300 gun, knife, wrench Detection preview by Segmentation_v8_large_300_train_300
Original Image: P03490.jpg
GT: gun, knife, pliers, wrench
gun, knife, pliers, wrench Detection preview by Box_v11_medium_train_SIXray_OPIXray No objects detected Detection preview by DN_Medium_300_yolov8m_20t7_new gun, knife, wrench Detection preview by Segmentatation_v8_medium_train_250 gun, knife, wrench Detection preview by Segmentation_V11_large_300_train_300 gun, knife, wrench Detection preview by Segmentation_v8_large_300_train_300
Original Image: P03491.jpg
GT: knife, wrench
knife, wrench Detection preview by Box_v11_medium_train_SIXray_OPIXray No objects detected Detection preview by DN_Medium_300_yolov8m_20t7_new knife, wrench Detection preview by Segmentatation_v8_medium_train_250 knife, wrench Detection preview by Segmentation_V11_large_300_train_300 knife, wrench Detection preview by Segmentation_v8_large_300_train_300
Original Image: P03492.jpg
GT: gun, knife, pliers, wrench
gun, knife, pliers, wrench Detection preview by Box_v11_medium_train_SIXray_OPIXray No objects detected Detection preview by DN_Medium_300_yolov8m_20t7_new gun, knife, wrench Detection preview by Segmentatation_v8_medium_train_250 gun, knife, wrench Detection preview by Segmentation_V11_large_300_train_300 gun, knife, wrench Detection preview by Segmentation_v8_large_300_train_300
Original Image: P03493.jpg
GT: knife, wrench
knife, wrench Detection preview by Box_v11_medium_train_SIXray_OPIXray No objects detected Detection preview by DN_Medium_300_yolov8m_20t7_new knife, wrench Detection preview by Segmentatation_v8_medium_train_250 knife, wrench Detection preview by Segmentation_V11_large_300_train_300 knife, wrench Detection preview by Segmentation_v8_large_300_train_300
Original Image: P03494.jpg
GT: gun, knife, pliers, wrench
gun, knife, pliers, wrench Detection preview by Box_v11_medium_train_SIXray_OPIXray No objects detected Detection preview by DN_Medium_300_yolov8m_20t7_new gun, knife, wrench Detection preview by Segmentatation_v8_medium_train_250 gun, knife, wrench Detection preview by Segmentation_V11_large_300_train_300 gun, knife, wrench Detection preview by Segmentation_v8_large_300_train_300
Original Image: P03495.jpg
GT: knife, wrench
knife, wrench Detection preview by Box_v11_medium_train_SIXray_OPIXray No objects detected Detection preview by DN_Medium_300_yolov8m_20t7_new knife, wrench Detection preview by Segmentatation_v8_medium_train_250 knife, wrench Detection preview by Segmentation_V11_large_300_train_300 knife, wrench Detection preview by Segmentation_v8_large_300_train_300
Original Image: P03496.jpg
GT: gun, knife, pliers, wrench
gun, knife, pliers, wrench Detection preview by Box_v11_medium_train_SIXray_OPIXray No objects detected Detection preview by DN_Medium_300_yolov8m_20t7_new gun, knife, wrench Detection preview by Segmentatation_v8_medium_train_250 gun, knife, wrench Detection preview by Segmentation_V11_large_300_train_300 gun, knife, wrench Detection preview by Segmentation_v8_large_300_train_300
Original Image: P03497.jpg
GT: knife, wrench
knife, wrench Detection preview by Box_v11_medium_train_SIXray_OPIXray No objects detected Detection preview by DN_Medium_300_yolov8m_20t7_new knife, wrench Detection preview by Segmentatation_v8_medium_train_250 knife, wrench Detection preview by Segmentation_V11_large_300_train_300 knife, wrench Detection preview by Segmentation_v8_large_300_train_300
Original Image: P03498.jpg
GT: gun, knife, pliers, wrench
gun, knife, pliers, wrench Detection preview by Box_v11_medium_train_SIXray_OPIXray No objects detected Detection preview by DN_Medium_300_yolov8m_20t7_new gun, knife, wrench Detection preview by Segmentatation_v8_medium_train_250 gun, knife, wrench Detection preview by Segmentation_V11_large_300_train_300 gun, knife, wrench Detection preview by Segmentation_v8_large_300_train_300
Original Image: P03499.jpg
GT: knife, wrench
knife, wrench Detection preview by Box_v11_medium_train_SIXray_OPIXray No objects detected Detection preview by DN_Medium_300_yolov8m_20t7_new knife, wrench Detection preview by Segmentatation_v8_medium_train_250 knife, wrench Detection preview by Segmentation_V11_large_300_train_300 knife, wrench Detection preview by Segmentation_v8_large_300_train_300
Original Image: P03500.jpg
GT: gun, knife, pliers, wrench
gun, knife, pliers, wrench Detection preview by Box_v11_medium_train_SIXray_OPIXray No objects detected Detection preview by DN_Medium_300_yolov8m_20t7_new gun, knife, wrench Detection preview by Segmentatation_v8_medium_train_250 gun, knife, wrench Detection preview by Segmentation_V11_large_300_train_300 gun, knife, wrench Detection preview by Segmentation_v8_large_300_train_300
Original Image: P03501.jpg
GT: gun, knife, wrench
gun, knife, wrench Detection preview by Box_v11_medium_train_SIXray_OPIXray No objects detected Detection preview by DN_Medium_300_yolov8m_20t7_new gun, knife, wrench Detection preview by Segmentatation_v8_medium_train_250 gun, knife, wrench Detection preview by Segmentation_V11_large_300_train_300 gun, knife, wrench Detection preview by Segmentation_v8_large_300_train_300
Original Image: P03502.jpg
GT: gun, knife, pliers, wrench
gun, knife, pliers, wrench Detection preview by Box_v11_medium_train_SIXray_OPIXray No objects detected Detection preview by DN_Medium_300_yolov8m_20t7_new gun, knife Detection preview by Segmentatation_v8_medium_train_250 gun, knife Detection preview by Segmentation_V11_large_300_train_300 gun, knife Detection preview by Segmentation_v8_large_300_train_300
Original Image: P03503.jpg
GT: gun, knife, pliers, wrench
gun, knife, pliers, wrench Detection preview by Box_v11_medium_train_SIXray_OPIXray No objects detected Detection preview by DN_Medium_300_yolov8m_20t7_new gun, knife, wrench Detection preview by Segmentatation_v8_medium_train_250 gun, knife Detection preview by Segmentation_V11_large_300_train_300 gun, knife Detection preview by Segmentation_v8_large_300_train_300
Original Image: P03504.jpg
GT: gun, wrench
gun, wrench Detection preview by Box_v11_medium_train_SIXray_OPIXray No objects detected Detection preview by DN_Medium_300_yolov8m_20t7_new gun, wrench Detection preview by Segmentatation_v8_medium_train_250 gun, wrench Detection preview by Segmentation_V11_large_300_train_300 gun, wrench Detection preview by Segmentation_v8_large_300_train_300
Original Image: P03505.jpg
GT: gun, knife, pliers, wrench
gun, knife, pliers, wrench Detection preview by Box_v11_medium_train_SIXray_OPIXray No objects detected Detection preview by DN_Medium_300_yolov8m_20t7_new gun, knife, wrench Detection preview by Segmentatation_v8_medium_train_250 gun, knife, wrench Detection preview by Segmentation_V11_large_300_train_300 gun, knife, wrench Detection preview by Segmentation_v8_large_300_train_300
Original Image: P03506.jpg
GT: gun, wrench
gun, wrench Detection preview by Box_v11_medium_train_SIXray_OPIXray No objects detected Detection preview by DN_Medium_300_yolov8m_20t7_new gun, wrench Detection preview by Segmentatation_v8_medium_train_250 gun, wrench Detection preview by Segmentation_V11_large_300_train_300 gun, wrench Detection preview by Segmentation_v8_large_300_train_300
Original Image: P03507.jpg
GT: gun, knife, pliers, wrench
gun, knife, pliers, wrench Detection preview by Box_v11_medium_train_SIXray_OPIXray No objects detected Detection preview by DN_Medium_300_yolov8m_20t7_new gun, knife, wrench Detection preview by Segmentatation_v8_medium_train_250 gun, knife, wrench Detection preview by Segmentation_V11_large_300_train_300 gun, knife Detection preview by Segmentation_v8_large_300_train_300
Original Image: P03508.jpg
GT: gun, knife, pliers, wrench
gun, knife, pliers, wrench Detection preview by Box_v11_medium_train_SIXray_OPIXray No objects detected Detection preview by DN_Medium_300_yolov8m_20t7_new gun, knife, wrench Detection preview by Segmentatation_v8_medium_train_250 gun, knife, wrench Detection preview by Segmentation_V11_large_300_train_300 gun, knife, wrench Detection preview by Segmentation_v8_large_300_train_300
Original Image: P03509.jpg
GT: gun, wrench
gun, wrench Detection preview by Box_v11_medium_train_SIXray_OPIXray No objects detected Detection preview by DN_Medium_300_yolov8m_20t7_new gun, wrench Detection preview by Segmentatation_v8_medium_train_250 gun, wrench Detection preview by Segmentation_V11_large_300_train_300 gun, wrench Detection preview by Segmentation_v8_large_300_train_300
Original Image: P03510.jpg
GT: gun, knife, pliers, wrench
gun, knife, pliers, wrench Detection preview by Box_v11_medium_train_SIXray_OPIXray No objects detected Detection preview by DN_Medium_300_yolov8m_20t7_new gun, knife, wrench Detection preview by Segmentatation_v8_medium_train_250 gun, knife, wrench Detection preview by Segmentation_V11_large_300_train_300 gun, knife, wrench Detection preview by Segmentation_v8_large_300_train_300
Original Image: P03511.jpg
GT: gun, knife, pliers, wrench
gun, knife, pliers, wrench Detection preview by Box_v11_medium_train_SIXray_OPIXray No objects detected Detection preview by DN_Medium_300_yolov8m_20t7_new gun, knife, wrench Detection preview by Segmentatation_v8_medium_train_250 gun, knife, wrench Detection preview by Segmentation_V11_large_300_train_300 gun, knife, wrench Detection preview by Segmentation_v8_large_300_train_300
Original Image: P03512.jpg
GT: gun, wrench
gun, wrench Detection preview by Box_v11_medium_train_SIXray_OPIXray No objects detected Detection preview by DN_Medium_300_yolov8m_20t7_new gun, wrench Detection preview by Segmentatation_v8_medium_train_250 gun, wrench Detection preview by Segmentation_V11_large_300_train_300 gun, wrench Detection preview by Segmentation_v8_large_300_train_300
Original Image: P03513.jpg
GT: gun, wrench
gun, wrench Detection preview by Box_v11_medium_train_SIXray_OPIXray No objects detected Detection preview by DN_Medium_300_yolov8m_20t7_new gun, wrench Detection preview by Segmentatation_v8_medium_train_250 gun, wrench Detection preview by Segmentation_V11_large_300_train_300 gun, wrench Detection preview by Segmentation_v8_large_300_train_300
Original Image: P03514.jpg
GT: gun, knife, pliers, wrench
gun, knife, pliers, wrench Detection preview by Box_v11_medium_train_SIXray_OPIXray No objects detected Detection preview by DN_Medium_300_yolov8m_20t7_new gun, knife, wrench Detection preview by Segmentatation_v8_medium_train_250 gun, knife, wrench Detection preview by Segmentation_V11_large_300_train_300 gun, knife, wrench Detection preview by Segmentation_v8_large_300_train_300
Original Image: P03515.jpg
GT: gun, wrench
gun, wrench Detection preview by Box_v11_medium_train_SIXray_OPIXray No objects detected Detection preview by DN_Medium_300_yolov8m_20t7_new gun, wrench Detection preview by Segmentatation_v8_medium_train_250 gun, wrench Detection preview by Segmentation_V11_large_300_train_300 gun, wrench Detection preview by Segmentation_v8_large_300_train_300
Original Image: P03516.jpg
GT: gun, knife, pliers, wrench
gun, knife, pliers, wrench Detection preview by Box_v11_medium_train_SIXray_OPIXray No objects detected Detection preview by DN_Medium_300_yolov8m_20t7_new gun, knife, wrench Detection preview by Segmentatation_v8_medium_train_250 gun, knife, wrench Detection preview by Segmentation_V11_large_300_train_300 gun, knife, wrench Detection preview by Segmentation_v8_large_300_train_300
Original Image: P03517.jpg
GT: gun, knife, pliers, wrench
gun, knife, pliers, wrench Detection preview by Box_v11_medium_train_SIXray_OPIXray No objects detected Detection preview by DN_Medium_300_yolov8m_20t7_new gun, knife, wrench Detection preview by Segmentatation_v8_medium_train_250 gun, knife, wrench Detection preview by Segmentation_V11_large_300_train_300 gun, knife, wrench Detection preview by Segmentation_v8_large_300_train_300
Original Image: P03518.jpg
GT: gun, wrench
gun, wrench Detection preview by Box_v11_medium_train_SIXray_OPIXray No objects detected Detection preview by DN_Medium_300_yolov8m_20t7_new gun, wrench Detection preview by Segmentatation_v8_medium_train_250 gun, wrench Detection preview by Segmentation_V11_large_300_train_300 gun, wrench Detection preview by Segmentation_v8_large_300_train_300
Original Image: P03519.jpg
GT: gun, knife, pliers, wrench
gun, knife, pliers, wrench Detection preview by Box_v11_medium_train_SIXray_OPIXray No objects detected Detection preview by DN_Medium_300_yolov8m_20t7_new gun, knife, wrench Detection preview by Segmentatation_v8_medium_train_250 gun, knife, wrench Detection preview by Segmentation_V11_large_300_train_300 gun, knife, wrench Detection preview by Segmentation_v8_large_300_train_300
Original Image: P03520.jpg
GT: gun, knife, pliers, wrench
gun, knife, pliers, wrench Detection preview by Box_v11_medium_train_SIXray_OPIXray No objects detected Detection preview by DN_Medium_300_yolov8m_20t7_new gun, knife, wrench Detection preview by Segmentatation_v8_medium_train_250 gun, knife, wrench Detection preview by Segmentation_V11_large_300_train_300 gun, knife, wrench Detection preview by Segmentation_v8_large_300_train_300
Original Image: P03521.jpg
GT: gun, knife, pliers, wrench
gun, knife, pliers, wrench Detection preview by Box_v11_medium_train_SIXray_OPIXray No objects detected Detection preview by DN_Medium_300_yolov8m_20t7_new gun, knife, wrench Detection preview by Segmentatation_v8_medium_train_250 gun, knife, wrench Detection preview by Segmentation_V11_large_300_train_300 gun, knife, wrench Detection preview by Segmentation_v8_large_300_train_300
Original Image: P03522.jpg
GT: gun, wrench
gun, wrench Detection preview by Box_v11_medium_train_SIXray_OPIXray No objects detected Detection preview by DN_Medium_300_yolov8m_20t7_new gun, wrench Detection preview by Segmentatation_v8_medium_train_250 gun, wrench Detection preview by Segmentation_V11_large_300_train_300 gun, wrench Detection preview by Segmentation_v8_large_300_train_300
Original Image: P03523.jpg
GT: knife, pliers, wrench
knife, pliers, wrench Detection preview by Box_v11_medium_train_SIXray_OPIXray No objects detected Detection preview by DN_Medium_300_yolov8m_20t7_new knife, wrench Detection preview by Segmentatation_v8_medium_train_250 knife, wrench Detection preview by Segmentation_V11_large_300_train_300 knife, wrench Detection preview by Segmentation_v8_large_300_train_300
Original Image: P03524.jpg
GT: knife, pliers, wrench
gun, knife, pliers, wrench Detection preview by Box_v11_medium_train_SIXray_OPIXray No objects detected Detection preview by DN_Medium_300_yolov8m_20t7_new gun, wrench Detection preview by Segmentatation_v8_medium_train_250 knife, wrench Detection preview by Segmentation_V11_large_300_train_300 gun, wrench Detection preview by Segmentation_v8_large_300_train_300
Original Image: P03525.jpg
GT: gun, knife, pliers, wrench
gun, knife, pliers, wrench Detection preview by Box_v11_medium_train_SIXray_OPIXray No objects detected Detection preview by DN_Medium_300_yolov8m_20t7_new gun, knife, wrench Detection preview by Segmentatation_v8_medium_train_250 gun, knife, wrench Detection preview by Segmentation_V11_large_300_train_300 gun, knife, wrench Detection preview by Segmentation_v8_large_300_train_300
Original Image: P03526.jpg
GT: knife, wrench
knife, wrench Detection preview by Box_v11_medium_train_SIXray_OPIXray pliers Detection preview by DN_Medium_300_yolov8m_20t7_new knife, wrench Detection preview by Segmentatation_v8_medium_train_250 knife, wrench Detection preview by Segmentation_V11_large_300_train_300 knife, wrench Detection preview by Segmentation_v8_large_300_train_300
Original Image: P03527.jpg
GT: gun, knife, pliers, wrench
gun, knife, pliers, wrench Detection preview by Box_v11_medium_train_SIXray_OPIXray No objects detected Detection preview by DN_Medium_300_yolov8m_20t7_new gun Detection preview by Segmentatation_v8_medium_train_250 gun, knife Detection preview by Segmentation_V11_large_300_train_300 gun, knife Detection preview by Segmentation_v8_large_300_train_300
Original Image: P03528.jpg
GT: gun, knife, pliers, wrench
gun, knife, pliers, wrench Detection preview by Box_v11_medium_train_SIXray_OPIXray No objects detected Detection preview by DN_Medium_300_yolov8m_20t7_new knife Detection preview by Segmentatation_v8_medium_train_250 knife Detection preview by Segmentation_V11_large_300_train_300 gun, knife Detection preview by Segmentation_v8_large_300_train_300
Original Image: P03529.jpg
GT: gun, wrench
gun, knife, wrench Detection preview by Box_v11_medium_train_SIXray_OPIXray No objects detected Detection preview by DN_Medium_300_yolov8m_20t7_new wrench Detection preview by Segmentatation_v8_medium_train_250 knife, wrench Detection preview by Segmentation_V11_large_300_train_300 knife, wrench Detection preview by Segmentation_v8_large_300_train_300
Original Image: P03530.jpg
GT: gun, knife, pliers, wrench
gun, knife, pliers, wrench Detection preview by Box_v11_medium_train_SIXray_OPIXray No objects detected Detection preview by DN_Medium_300_yolov8m_20t7_new gun, knife, wrench Detection preview by Segmentatation_v8_medium_train_250 gun, knife Detection preview by Segmentation_V11_large_300_train_300 gun, knife Detection preview by Segmentation_v8_large_300_train_300
Original Image: P03531.jpg
GT: knife
knife Detection preview by Box_v11_medium_train_SIXray_OPIXray No objects detected Detection preview by DN_Medium_300_yolov8m_20t7_new knife Detection preview by Segmentatation_v8_medium_train_250 knife Detection preview by Segmentation_V11_large_300_train_300 knife Detection preview by Segmentation_v8_large_300_train_300
Original Image: P03532.jpg
GT: gun, knife, pliers, wrench
gun, knife, pliers, wrench Detection preview by Box_v11_medium_train_SIXray_OPIXray No objects detected Detection preview by DN_Medium_300_yolov8m_20t7_new gun, knife Detection preview by Segmentatation_v8_medium_train_250 gun, knife Detection preview by Segmentation_V11_large_300_train_300 gun, knife Detection preview by Segmentation_v8_large_300_train_300
Original Image: P03533.jpg
GT: knife
knife Detection preview by Box_v11_medium_train_SIXray_OPIXray No objects detected Detection preview by DN_Medium_300_yolov8m_20t7_new knife Detection preview by Segmentatation_v8_medium_train_250 knife Detection preview by Segmentation_V11_large_300_train_300 knife Detection preview by Segmentation_v8_large_300_train_300
Original Image: P03534.jpg
GT: gun, wrench
gun, wrench Detection preview by Box_v11_medium_train_SIXray_OPIXray No objects detected Detection preview by DN_Medium_300_yolov8m_20t7_new gun, wrench Detection preview by Segmentatation_v8_medium_train_250 gun, wrench Detection preview by Segmentation_V11_large_300_train_300 gun, wrench Detection preview by Segmentation_v8_large_300_train_300
Original Image: P03535.jpg
GT: gun, knife, wrench
gun, knife, pliers, wrench Detection preview by Box_v11_medium_train_SIXray_OPIXray No objects detected Detection preview by DN_Medium_300_yolov8m_20t7_new gun, knife, wrench Detection preview by Segmentatation_v8_medium_train_250 gun, knife Detection preview by Segmentation_V11_large_300_train_300 gun, knife, wrench Detection preview by Segmentation_v8_large_300_train_300
Original Image: P03536.jpg
GT: knife
knife Detection preview by Box_v11_medium_train_SIXray_OPIXray No objects detected Detection preview by DN_Medium_300_yolov8m_20t7_new knife Detection preview by Segmentatation_v8_medium_train_250 knife Detection preview by Segmentation_V11_large_300_train_300 knife Detection preview by Segmentation_v8_large_300_train_300
Original Image: P03537.jpg
GT: knife, pliers, wrench
gun, knife, pliers, wrench Detection preview by Box_v11_medium_train_SIXray_OPIXray No objects detected Detection preview by DN_Medium_300_yolov8m_20t7_new gun, knife, wrench Detection preview by Segmentatation_v8_medium_train_250 gun, knife, wrench Detection preview by Segmentation_V11_large_300_train_300 gun, knife, wrench Detection preview by Segmentation_v8_large_300_train_300
Original Image: P03538.jpg
GT: gun, knife, wrench
gun, knife, wrench Detection preview by Box_v11_medium_train_SIXray_OPIXray No objects detected Detection preview by DN_Medium_300_yolov8m_20t7_new gun, knife, wrench Detection preview by Segmentatation_v8_medium_train_250 gun, knife, wrench Detection preview by Segmentation_V11_large_300_train_300 gun, knife, wrench Detection preview by Segmentation_v8_large_300_train_300
Original Image: P03539.jpg
GT: gun, knife, pliers, wrench
gun, knife, pliers, wrench Detection preview by Box_v11_medium_train_SIXray_OPIXray No objects detected Detection preview by DN_Medium_300_yolov8m_20t7_new knife Detection preview by Segmentatation_v8_medium_train_250 knife, wrench Detection preview by Segmentation_V11_large_300_train_300 knife, wrench Detection preview by Segmentation_v8_large_300_train_300
Original Image: P03540.jpg
GT: knife
knife Detection preview by Box_v11_medium_train_SIXray_OPIXray No objects detected Detection preview by DN_Medium_300_yolov8m_20t7_new knife Detection preview by Segmentatation_v8_medium_train_250 knife Detection preview by Segmentation_V11_large_300_train_300 knife Detection preview by Segmentation_v8_large_300_train_300
Original Image: P03541.jpg
GT: knife, pliers, wrench
knife, pliers, wrench Detection preview by Box_v11_medium_train_SIXray_OPIXray pliers Detection preview by DN_Medium_300_yolov8m_20t7_new knife, wrench Detection preview by Segmentatation_v8_medium_train_250 knife, wrench Detection preview by Segmentation_V11_large_300_train_300 knife, wrench Detection preview by Segmentation_v8_large_300_train_300
Original Image: P03542.jpg
GT: knife
knife Detection preview by Box_v11_medium_train_SIXray_OPIXray No objects detected Detection preview by DN_Medium_300_yolov8m_20t7_new knife Detection preview by Segmentatation_v8_medium_train_250 knife Detection preview by Segmentation_V11_large_300_train_300 knife Detection preview by Segmentation_v8_large_300_train_300
Original Image: P03543.jpg
GT: gun, knife, pliers, wrench
gun, knife, wrench Detection preview by Box_v11_medium_train_SIXray_OPIXray No objects detected Detection preview by DN_Medium_300_yolov8m_20t7_new gun, knife, wrench Detection preview by Segmentatation_v8_medium_train_250 gun, knife, wrench Detection preview by Segmentation_V11_large_300_train_300 gun, knife, wrench Detection preview by Segmentation_v8_large_300_train_300
Original Image: P03544.jpg
GT: knife, pliers, wrench
gun, knife, pliers, wrench Detection preview by Box_v11_medium_train_SIXray_OPIXray pliers Detection preview by DN_Medium_300_yolov8m_20t7_new gun, knife, wrench Detection preview by Segmentatation_v8_medium_train_250 gun, knife, wrench Detection preview by Segmentation_V11_large_300_train_300 gun, knife, wrench Detection preview by Segmentation_v8_large_300_train_300
Original Image: P03545.jpg
GT: knife
knife Detection preview by Box_v11_medium_train_SIXray_OPIXray No objects detected Detection preview by DN_Medium_300_yolov8m_20t7_new knife Detection preview by Segmentatation_v8_medium_train_250 knife Detection preview by Segmentation_V11_large_300_train_300 knife Detection preview by Segmentation_v8_large_300_train_300
Original Image: P03546.jpg
GT: gun, knife, wrench
gun, knife, wrench Detection preview by Box_v11_medium_train_SIXray_OPIXray No objects detected Detection preview by DN_Medium_300_yolov8m_20t7_new gun, knife, wrench Detection preview by Segmentatation_v8_medium_train_250 gun, knife, wrench Detection preview by Segmentation_V11_large_300_train_300 gun, knife, wrench Detection preview by Segmentation_v8_large_300_train_300
Original Image: P03547.jpg
GT: knife, pliers, wrench
knife, pliers, wrench Detection preview by Box_v11_medium_train_SIXray_OPIXray No objects detected Detection preview by DN_Medium_300_yolov8m_20t7_new knife, wrench Detection preview by Segmentatation_v8_medium_train_250 knife, wrench Detection preview by Segmentation_V11_large_300_train_300 knife, wrench Detection preview by Segmentation_v8_large_300_train_300
Original Image: P03548.jpg
GT: gun, knife, wrench
gun, knife, wrench Detection preview by Box_v11_medium_train_SIXray_OPIXray No objects detected Detection preview by DN_Medium_300_yolov8m_20t7_new gun, knife, wrench Detection preview by Segmentatation_v8_medium_train_250 gun, knife, wrench Detection preview by Segmentation_V11_large_300_train_300 gun, knife, wrench Detection preview by Segmentation_v8_large_300_train_300
Original Image: P03549.jpg
GT: knife, pliers, wrench
knife, pliers, wrench Detection preview by Box_v11_medium_train_SIXray_OPIXray pliers Detection preview by DN_Medium_300_yolov8m_20t7_new knife Detection preview by Segmentatation_v8_medium_train_250 knife Detection preview by Segmentation_V11_large_300_train_300 knife Detection preview by Segmentation_v8_large_300_train_300
Original Image: P03550.jpg
GT: knife
knife Detection preview by Box_v11_medium_train_SIXray_OPIXray No objects detected Detection preview by DN_Medium_300_yolov8m_20t7_new knife Detection preview by Segmentatation_v8_medium_train_250 knife Detection preview by Segmentation_V11_large_300_train_300 knife Detection preview by Segmentation_v8_large_300_train_300
Original Image: P03551.jpg
GT: gun, knife, pliers, wrench
gun, knife, pliers, wrench Detection preview by Box_v11_medium_train_SIXray_OPIXray pliers Detection preview by DN_Medium_300_yolov8m_20t7_new gun, knife Detection preview by Segmentatation_v8_medium_train_250 gun, knife Detection preview by Segmentation_V11_large_300_train_300 gun, knife Detection preview by Segmentation_v8_large_300_train_300
Original Image: P03552.jpg
GT: knife
knife Detection preview by Box_v11_medium_train_SIXray_OPIXray No objects detected Detection preview by DN_Medium_300_yolov8m_20t7_new knife Detection preview by Segmentatation_v8_medium_train_250 knife Detection preview by Segmentation_V11_large_300_train_300 knife Detection preview by Segmentation_v8_large_300_train_300
Original Image: P03553.jpg
GT: knife, wrench
gun, knife, wrench Detection preview by Box_v11_medium_train_SIXray_OPIXray No objects detected Detection preview by DN_Medium_300_yolov8m_20t7_new gun, knife, wrench Detection preview by Segmentatation_v8_medium_train_250 gun, knife, wrench Detection preview by Segmentation_V11_large_300_train_300 gun, knife, wrench Detection preview by Segmentation_v8_large_300_train_300
Original Image: P03554.jpg
GT: gun, knife, pliers, wrench
gun, knife, pliers, wrench Detection preview by Box_v11_medium_train_SIXray_OPIXray pliers Detection preview by DN_Medium_300_yolov8m_20t7_new gun, knife Detection preview by Segmentatation_v8_medium_train_250 gun, knife Detection preview by Segmentation_V11_large_300_train_300 gun, knife Detection preview by Segmentation_v8_large_300_train_300
Original Image: P03555.jpg
GT: knife
knife Detection preview by Box_v11_medium_train_SIXray_OPIXray No objects detected Detection preview by DN_Medium_300_yolov8m_20t7_new knife Detection preview by Segmentatation_v8_medium_train_250 knife Detection preview by Segmentation_V11_large_300_train_300 knife Detection preview by Segmentation_v8_large_300_train_300
Original Image: P03556.jpg
GT: gun, knife, wrench
gun, knife, wrench Detection preview by Box_v11_medium_train_SIXray_OPIXray No objects detected Detection preview by DN_Medium_300_yolov8m_20t7_new gun, knife, wrench Detection preview by Segmentatation_v8_medium_train_250 gun, knife, wrench Detection preview by Segmentation_V11_large_300_train_300 gun, knife, wrench Detection preview by Segmentation_v8_large_300_train_300
Original Image: P03557.jpg
GT: gun, knife, pliers, wrench
gun, knife, pliers, wrench Detection preview by Box_v11_medium_train_SIXray_OPIXray pliers Detection preview by DN_Medium_300_yolov8m_20t7_new gun, knife, wrench Detection preview by Segmentatation_v8_medium_train_250 gun, knife, wrench Detection preview by Segmentation_V11_large_300_train_300 gun, knife, wrench Detection preview by Segmentation_v8_large_300_train_300
Original Image: P03558.jpg
GT: knife
knife Detection preview by Box_v11_medium_train_SIXray_OPIXray No objects detected Detection preview by DN_Medium_300_yolov8m_20t7_new knife Detection preview by Segmentatation_v8_medium_train_250 knife Detection preview by Segmentation_V11_large_300_train_300 knife Detection preview by Segmentation_v8_large_300_train_300
Original Image: P03559.jpg
GT: gun, knife, wrench
gun, knife, wrench Detection preview by Box_v11_medium_train_SIXray_OPIXray No objects detected Detection preview by DN_Medium_300_yolov8m_20t7_new gun, wrench Detection preview by Segmentatation_v8_medium_train_250 gun, wrench Detection preview by Segmentation_V11_large_300_train_300 gun, wrench Detection preview by Segmentation_v8_large_300_train_300
Original Image: P03560.jpg
GT: gun, knife, pliers, wrench
gun, knife, pliers, wrench Detection preview by Box_v11_medium_train_SIXray_OPIXray pliers Detection preview by DN_Medium_300_yolov8m_20t7_new gun, knife, wrench Detection preview by Segmentatation_v8_medium_train_250 gun, knife, wrench Detection preview by Segmentation_V11_large_300_train_300 gun, knife, wrench Detection preview by Segmentation_v8_large_300_train_300
Original Image: P03561.jpg
GT: gun, knife, pliers, wrench
gun, knife, pliers, wrench Detection preview by Box_v11_medium_train_SIXray_OPIXray pliers Detection preview by DN_Medium_300_yolov8m_20t7_new gun, knife, wrench Detection preview by Segmentatation_v8_medium_train_250 gun, knife, wrench Detection preview by Segmentation_V11_large_300_train_300 gun, knife, wrench Detection preview by Segmentation_v8_large_300_train_300
Original Image: P03562.jpg
GT: gun, knife, pliers, wrench
gun, knife, pliers, wrench Detection preview by Box_v11_medium_train_SIXray_OPIXray pliers Detection preview by DN_Medium_300_yolov8m_20t7_new gun, knife Detection preview by Segmentatation_v8_medium_train_250 gun, knife Detection preview by Segmentation_V11_large_300_train_300 gun, knife Detection preview by Segmentation_v8_large_300_train_300
Original Image: P03563.jpg
GT: knife
knife Detection preview by Box_v11_medium_train_SIXray_OPIXray No objects detected Detection preview by DN_Medium_300_yolov8m_20t7_new knife Detection preview by Segmentatation_v8_medium_train_250 knife Detection preview by Segmentation_V11_large_300_train_300 knife Detection preview by Segmentation_v8_large_300_train_300
Original Image: P03564.jpg
GT: knife, wrench
gun, knife, wrench Detection preview by Box_v11_medium_train_SIXray_OPIXray No objects detected Detection preview by DN_Medium_300_yolov8m_20t7_new gun, knife, wrench Detection preview by Segmentatation_v8_medium_train_250 gun, knife, wrench Detection preview by Segmentation_V11_large_300_train_300 gun, knife, wrench Detection preview by Segmentation_v8_large_300_train_300
Original Image: P03565.jpg
GT: gun, knife, pliers, wrench
gun, knife, pliers, wrench Detection preview by Box_v11_medium_train_SIXray_OPIXray No objects detected Detection preview by DN_Medium_300_yolov8m_20t7_new gun, knife Detection preview by Segmentatation_v8_medium_train_250 gun, knife Detection preview by Segmentation_V11_large_300_train_300 gun, knife Detection preview by Segmentation_v8_large_300_train_300
Original Image: P03566.jpg
GT: knife
knife Detection preview by Box_v11_medium_train_SIXray_OPIXray No objects detected Detection preview by DN_Medium_300_yolov8m_20t7_new knife Detection preview by Segmentatation_v8_medium_train_250 knife Detection preview by Segmentation_V11_large_300_train_300 knife Detection preview by Segmentation_v8_large_300_train_300
Original Image: P03567.jpg
GT: knife, wrench
gun, knife, wrench Detection preview by Box_v11_medium_train_SIXray_OPIXray No objects detected Detection preview by DN_Medium_300_yolov8m_20t7_new gun, knife, wrench Detection preview by Segmentatation_v8_medium_train_250 gun, knife, wrench Detection preview by Segmentation_V11_large_300_train_300 gun, knife, wrench Detection preview by Segmentation_v8_large_300_train_300
Original Image: P03568.jpg
GT: gun, knife, pliers, wrench
gun, knife, pliers, wrench Detection preview by Box_v11_medium_train_SIXray_OPIXray pliers Detection preview by DN_Medium_300_yolov8m_20t7_new gun, knife, wrench Detection preview by Segmentatation_v8_medium_train_250 gun, knife, wrench Detection preview by Segmentation_V11_large_300_train_300 gun, knife, wrench Detection preview by Segmentation_v8_large_300_train_300
Original Image: P03569.jpg
GT: knife
knife Detection preview by Box_v11_medium_train_SIXray_OPIXray No objects detected Detection preview by DN_Medium_300_yolov8m_20t7_new knife Detection preview by Segmentatation_v8_medium_train_250 knife Detection preview by Segmentation_V11_large_300_train_300 knife Detection preview by Segmentation_v8_large_300_train_300
Original Image: P03570.jpg
GT: knife, wrench
gun, knife, wrench Detection preview by Box_v11_medium_train_SIXray_OPIXray No objects detected Detection preview by DN_Medium_300_yolov8m_20t7_new gun, knife, wrench Detection preview by Segmentatation_v8_medium_train_250 gun, knife, wrench Detection preview by Segmentation_V11_large_300_train_300 gun, knife, wrench Detection preview by Segmentation_v8_large_300_train_300
Original Image: P03571.jpg
GT: gun, knife, pliers, wrench
gun, knife, pliers, wrench Detection preview by Box_v11_medium_train_SIXray_OPIXray No objects detected Detection preview by DN_Medium_300_yolov8m_20t7_new gun, knife, wrench Detection preview by Segmentatation_v8_medium_train_250 gun, knife, wrench Detection preview by Segmentation_V11_large_300_train_300 gun, knife, wrench Detection preview by Segmentation_v8_large_300_train_300
Original Image: P03572.jpg
GT: knife
knife Detection preview by Box_v11_medium_train_SIXray_OPIXray No objects detected Detection preview by DN_Medium_300_yolov8m_20t7_new knife Detection preview by Segmentatation_v8_medium_train_250 knife Detection preview by Segmentation_V11_large_300_train_300 knife Detection preview by Segmentation_v8_large_300_train_300
Original Image: P03573.jpg
GT: gun, knife, pliers, wrench
gun, knife, pliers, wrench Detection preview by Box_v11_medium_train_SIXray_OPIXray pliers Detection preview by DN_Medium_300_yolov8m_20t7_new gun, knife Detection preview by Segmentatation_v8_medium_train_250 gun, knife Detection preview by Segmentation_V11_large_300_train_300 gun, knife Detection preview by Segmentation_v8_large_300_train_300
Original Image: P03574.jpg
GT: gun, knife, pliers, wrench
gun, knife, pliers, wrench Detection preview by Box_v11_medium_train_SIXray_OPIXray pliers Detection preview by DN_Medium_300_yolov8m_20t7_new gun, knife, wrench Detection preview by Segmentatation_v8_medium_train_250 gun, knife, wrench Detection preview by Segmentation_V11_large_300_train_300 gun, knife, wrench Detection preview by Segmentation_v8_large_300_train_300
Original Image: P03575.jpg
GT: gun
gun Detection preview by Box_v11_medium_train_SIXray_OPIXray No objects detected Detection preview by DN_Medium_300_yolov8m_20t7_new gun Detection preview by Segmentatation_v8_medium_train_250 gun Detection preview by Segmentation_V11_large_300_train_300 gun Detection preview by Segmentation_v8_large_300_train_300
Original Image: P03576.jpg
GT: gun
gun Detection preview by Box_v11_medium_train_SIXray_OPIXray gun Detection preview by DN_Medium_300_yolov8m_20t7_new gun Detection preview by Segmentatation_v8_medium_train_250 gun Detection preview by Segmentation_V11_large_300_train_300 gun Detection preview by Segmentation_v8_large_300_train_300
Original Image: P03577.jpg
GT: gun
gun Detection preview by Box_v11_medium_train_SIXray_OPIXray gun Detection preview by DN_Medium_300_yolov8m_20t7_new gun Detection preview by Segmentatation_v8_medium_train_250 gun Detection preview by Segmentation_V11_large_300_train_300 gun Detection preview by Segmentation_v8_large_300_train_300
Original Image: P03578.jpg
GT: gun
gun Detection preview by Box_v11_medium_train_SIXray_OPIXray gun Detection preview by DN_Medium_300_yolov8m_20t7_new gun Detection preview by Segmentatation_v8_medium_train_250 gun Detection preview by Segmentation_V11_large_300_train_300 gun Detection preview by Segmentation_v8_large_300_train_300
Original Image: P03579.jpg
GT: gun
gun Detection preview by Box_v11_medium_train_SIXray_OPIXray No objects detected Detection preview by DN_Medium_300_yolov8m_20t7_new gun Detection preview by Segmentatation_v8_medium_train_250 gun Detection preview by Segmentation_V11_large_300_train_300 gun Detection preview by Segmentation_v8_large_300_train_300
Original Image: P03580.jpg
GT: gun
gun Detection preview by Box_v11_medium_train_SIXray_OPIXray No objects detected Detection preview by DN_Medium_300_yolov8m_20t7_new gun Detection preview by Segmentatation_v8_medium_train_250 gun Detection preview by Segmentation_V11_large_300_train_300 gun Detection preview by Segmentation_v8_large_300_train_300
Original Image: P03581.jpg
GT: gun
gun Detection preview by Box_v11_medium_train_SIXray_OPIXray gun Detection preview by DN_Medium_300_yolov8m_20t7_new gun Detection preview by Segmentatation_v8_medium_train_250 gun Detection preview by Segmentation_V11_large_300_train_300 gun Detection preview by Segmentation_v8_large_300_train_300
Original Image: P03582.jpg
GT: gun
gun Detection preview by Box_v11_medium_train_SIXray_OPIXray gun Detection preview by DN_Medium_300_yolov8m_20t7_new gun Detection preview by Segmentatation_v8_medium_train_250 gun Detection preview by Segmentation_V11_large_300_train_300 gun, scissor Detection preview by Segmentation_v8_large_300_train_300
Original Image: P03583.jpg
GT: gun
gun Detection preview by Box_v11_medium_train_SIXray_OPIXray gun Detection preview by DN_Medium_300_yolov8m_20t7_new gun Detection preview by Segmentatation_v8_medium_train_250 gun Detection preview by Segmentation_V11_large_300_train_300 gun Detection preview by Segmentation_v8_large_300_train_300
Original Image: P03584.jpg
GT: gun
gun Detection preview by Box_v11_medium_train_SIXray_OPIXray No objects detected Detection preview by DN_Medium_300_yolov8m_20t7_new No objects detected Detection preview by Segmentatation_v8_medium_train_250 gun Detection preview by Segmentation_V11_large_300_train_300 No objects detected Detection preview by Segmentation_v8_large_300_train_300
Original Image: P03585.jpg
GT: knife
knife Detection preview by Box_v11_medium_train_SIXray_OPIXray No objects detected Detection preview by DN_Medium_300_yolov8m_20t7_new knife Detection preview by Segmentatation_v8_medium_train_250 gun, knife Detection preview by Segmentation_V11_large_300_train_300 knife Detection preview by Segmentation_v8_large_300_train_300
Original Image: P03586.jpg
GT: gun
gun Detection preview by Box_v11_medium_train_SIXray_OPIXray gun Detection preview by DN_Medium_300_yolov8m_20t7_new gun Detection preview by Segmentatation_v8_medium_train_250 gun Detection preview by Segmentation_V11_large_300_train_300 gun Detection preview by Segmentation_v8_large_300_train_300
Original Image: P03587.jpg
GT: gun
gun Detection preview by Box_v11_medium_train_SIXray_OPIXray No objects detected Detection preview by DN_Medium_300_yolov8m_20t7_new gun Detection preview by Segmentatation_v8_medium_train_250 gun Detection preview by Segmentation_V11_large_300_train_300 gun Detection preview by Segmentation_v8_large_300_train_300
Original Image: P03588.jpg
GT: gun
gun Detection preview by Box_v11_medium_train_SIXray_OPIXray No objects detected Detection preview by DN_Medium_300_yolov8m_20t7_new gun Detection preview by Segmentatation_v8_medium_train_250 gun Detection preview by Segmentation_V11_large_300_train_300 gun Detection preview by Segmentation_v8_large_300_train_300
Original Image: P03589.jpg
GT: gun
gun Detection preview by Box_v11_medium_train_SIXray_OPIXray No objects detected Detection preview by DN_Medium_300_yolov8m_20t7_new gun Detection preview by Segmentatation_v8_medium_train_250 gun Detection preview by Segmentation_V11_large_300_train_300 gun Detection preview by Segmentation_v8_large_300_train_300
Original Image: P03590.jpg
GT: gun
gun Detection preview by Box_v11_medium_train_SIXray_OPIXray No objects detected Detection preview by DN_Medium_300_yolov8m_20t7_new gun Detection preview by Segmentatation_v8_medium_train_250 gun Detection preview by Segmentation_V11_large_300_train_300 gun Detection preview by Segmentation_v8_large_300_train_300
Original Image: P03591.jpg
GT: gun
gun Detection preview by Box_v11_medium_train_SIXray_OPIXray No objects detected Detection preview by DN_Medium_300_yolov8m_20t7_new gun Detection preview by Segmentatation_v8_medium_train_250 gun Detection preview by Segmentation_V11_large_300_train_300 gun Detection preview by Segmentation_v8_large_300_train_300
Original Image: P03592.jpg
GT: gun
gun Detection preview by Box_v11_medium_train_SIXray_OPIXray No objects detected Detection preview by DN_Medium_300_yolov8m_20t7_new gun Detection preview by Segmentatation_v8_medium_train_250 gun Detection preview by Segmentation_V11_large_300_train_300 gun Detection preview by Segmentation_v8_large_300_train_300
Original Image: P03593.jpg
GT: gun
gun Detection preview by Box_v11_medium_train_SIXray_OPIXray No objects detected Detection preview by DN_Medium_300_yolov8m_20t7_new gun Detection preview by Segmentatation_v8_medium_train_250 gun Detection preview by Segmentation_V11_large_300_train_300 gun Detection preview by Segmentation_v8_large_300_train_300
Original Image: P03594.jpg
GT: gun
gun Detection preview by Box_v11_medium_train_SIXray_OPIXray No objects detected Detection preview by DN_Medium_300_yolov8m_20t7_new gun Detection preview by Segmentatation_v8_medium_train_250 gun Detection preview by Segmentation_V11_large_300_train_300 gun Detection preview by Segmentation_v8_large_300_train_300
Original Image: P03595.jpg
GT: gun
gun Detection preview by Box_v11_medium_train_SIXray_OPIXray No objects detected Detection preview by DN_Medium_300_yolov8m_20t7_new gun Detection preview by Segmentatation_v8_medium_train_250 gun Detection preview by Segmentation_V11_large_300_train_300 gun Detection preview by Segmentation_v8_large_300_train_300
Original Image: P03596.jpg
GT: knife
knife Detection preview by Box_v11_medium_train_SIXray_OPIXray No objects detected Detection preview by DN_Medium_300_yolov8m_20t7_new knife Detection preview by Segmentatation_v8_medium_train_250 knife Detection preview by Segmentation_V11_large_300_train_300 knife Detection preview by Segmentation_v8_large_300_train_300
Original Image: P03597.jpg
GT: gun, knife, wrench
gun, knife, wrench Detection preview by Box_v11_medium_train_SIXray_OPIXray No objects detected Detection preview by DN_Medium_300_yolov8m_20t7_new knife, wrench Detection preview by Segmentatation_v8_medium_train_250 knife, wrench Detection preview by Segmentation_V11_large_300_train_300 knife, wrench Detection preview by Segmentation_v8_large_300_train_300
Original Image: P03598.jpg
GT: gun
gun Detection preview by Box_v11_medium_train_SIXray_OPIXray No objects detected Detection preview by DN_Medium_300_yolov8m_20t7_new gun Detection preview by Segmentatation_v8_medium_train_250 gun Detection preview by Segmentation_V11_large_300_train_300 gun Detection preview by Segmentation_v8_large_300_train_300
Original Image: P03599.jpg
GT: gun
gun Detection preview by Box_v11_medium_train_SIXray_OPIXray gun Detection preview by DN_Medium_300_yolov8m_20t7_new gun Detection preview by Segmentatation_v8_medium_train_250 gun Detection preview by Segmentation_V11_large_300_train_300 gun Detection preview by Segmentation_v8_large_300_train_300
Original Image: P03600.jpg
GT: gun
gun Detection preview by Box_v11_medium_train_SIXray_OPIXray gun Detection preview by DN_Medium_300_yolov8m_20t7_new gun Detection preview by Segmentatation_v8_medium_train_250 gun Detection preview by Segmentation_V11_large_300_train_300 gun Detection preview by Segmentation_v8_large_300_train_300
Original Image: P03601.jpg
GT: gun
gun Detection preview by Box_v11_medium_train_SIXray_OPIXray No objects detected Detection preview by DN_Medium_300_yolov8m_20t7_new gun Detection preview by Segmentatation_v8_medium_train_250 gun Detection preview by Segmentation_V11_large_300_train_300 gun Detection preview by Segmentation_v8_large_300_train_300
Original Image: P03602.jpg
GT: knife
knife Detection preview by Box_v11_medium_train_SIXray_OPIXray No objects detected Detection preview by DN_Medium_300_yolov8m_20t7_new knife Detection preview by Segmentatation_v8_medium_train_250 knife Detection preview by Segmentation_V11_large_300_train_300 knife Detection preview by Segmentation_v8_large_300_train_300
Original Image: P03603.jpg
GT: gun
gun Detection preview by Box_v11_medium_train_SIXray_OPIXray gun Detection preview by DN_Medium_300_yolov8m_20t7_new gun Detection preview by Segmentatation_v8_medium_train_250 gun Detection preview by Segmentation_V11_large_300_train_300 gun Detection preview by Segmentation_v8_large_300_train_300
Original Image: P03604.jpg
GT: gun
gun Detection preview by Box_v11_medium_train_SIXray_OPIXray No objects detected Detection preview by DN_Medium_300_yolov8m_20t7_new gun Detection preview by Segmentatation_v8_medium_train_250 gun Detection preview by Segmentation_V11_large_300_train_300 gun Detection preview by Segmentation_v8_large_300_train_300
Original Image: P03605.jpg
GT: gun
gun Detection preview by Box_v11_medium_train_SIXray_OPIXray gun Detection preview by DN_Medium_300_yolov8m_20t7_new gun Detection preview by Segmentatation_v8_medium_train_250 gun Detection preview by Segmentation_V11_large_300_train_300 gun Detection preview by Segmentation_v8_large_300_train_300
Original Image: P03606.jpg
GT: gun
gun Detection preview by Box_v11_medium_train_SIXray_OPIXray No objects detected Detection preview by DN_Medium_300_yolov8m_20t7_new gun Detection preview by Segmentatation_v8_medium_train_250 gun Detection preview by Segmentation_V11_large_300_train_300 gun Detection preview by Segmentation_v8_large_300_train_300
Original Image: P03607.jpg
GT: gun
gun Detection preview by Box_v11_medium_train_SIXray_OPIXray No objects detected Detection preview by DN_Medium_300_yolov8m_20t7_new gun Detection preview by Segmentatation_v8_medium_train_250 gun Detection preview by Segmentation_V11_large_300_train_300 gun Detection preview by Segmentation_v8_large_300_train_300
Original Image: P03608.jpg
GT: gun
gun Detection preview by Box_v11_medium_train_SIXray_OPIXray No objects detected Detection preview by DN_Medium_300_yolov8m_20t7_new gun Detection preview by Segmentatation_v8_medium_train_250 gun Detection preview by Segmentation_V11_large_300_train_300 gun Detection preview by Segmentation_v8_large_300_train_300
Original Image: P03609.jpg
GT: gun
gun Detection preview by Box_v11_medium_train_SIXray_OPIXray No objects detected Detection preview by DN_Medium_300_yolov8m_20t7_new gun Detection preview by Segmentatation_v8_medium_train_250 gun Detection preview by Segmentation_V11_large_300_train_300 gun Detection preview by Segmentation_v8_large_300_train_300
Original Image: P03610.jpg
GT: gun
gun Detection preview by Box_v11_medium_train_SIXray_OPIXray No objects detected Detection preview by DN_Medium_300_yolov8m_20t7_new gun Detection preview by Segmentatation_v8_medium_train_250 gun Detection preview by Segmentation_V11_large_300_train_300 gun Detection preview by Segmentation_v8_large_300_train_300
Original Image: P03611.jpg
GT: gun
gun Detection preview by Box_v11_medium_train_SIXray_OPIXray No objects detected Detection preview by DN_Medium_300_yolov8m_20t7_new gun Detection preview by Segmentatation_v8_medium_train_250 gun Detection preview by Segmentation_V11_large_300_train_300 gun Detection preview by Segmentation_v8_large_300_train_300
Original Image: P03612.jpg
GT: gun
gun Detection preview by Box_v11_medium_train_SIXray_OPIXray gun Detection preview by DN_Medium_300_yolov8m_20t7_new gun Detection preview by Segmentatation_v8_medium_train_250 gun Detection preview by Segmentation_V11_large_300_train_300 gun Detection preview by Segmentation_v8_large_300_train_300
Original Image: P03613.jpg
GT: gun
gun Detection preview by Box_v11_medium_train_SIXray_OPIXray No objects detected Detection preview by DN_Medium_300_yolov8m_20t7_new gun Detection preview by Segmentatation_v8_medium_train_250 gun Detection preview by Segmentation_V11_large_300_train_300 gun Detection preview by Segmentation_v8_large_300_train_300
Original Image: P03614.jpg
GT: gun
gun Detection preview by Box_v11_medium_train_SIXray_OPIXray No objects detected Detection preview by DN_Medium_300_yolov8m_20t7_new gun Detection preview by Segmentatation_v8_medium_train_250 gun Detection preview by Segmentation_V11_large_300_train_300 gun Detection preview by Segmentation_v8_large_300_train_300
Original Image: P03615.jpg
GT: gun
gun Detection preview by Box_v11_medium_train_SIXray_OPIXray No objects detected Detection preview by DN_Medium_300_yolov8m_20t7_new gun Detection preview by Segmentatation_v8_medium_train_250 gun Detection preview by Segmentation_V11_large_300_train_300 gun Detection preview by Segmentation_v8_large_300_train_300
Original Image: P03616.jpg
GT: knife
knife Detection preview by Box_v11_medium_train_SIXray_OPIXray No objects detected Detection preview by DN_Medium_300_yolov8m_20t7_new gun, knife Detection preview by Segmentatation_v8_medium_train_250 gun, knife Detection preview by Segmentation_V11_large_300_train_300 gun, knife Detection preview by Segmentation_v8_large_300_train_300
Original Image: P03617.jpg
GT: gun
gun Detection preview by Box_v11_medium_train_SIXray_OPIXray gun Detection preview by DN_Medium_300_yolov8m_20t7_new gun Detection preview by Segmentatation_v8_medium_train_250 gun Detection preview by Segmentation_V11_large_300_train_300 gun Detection preview by Segmentation_v8_large_300_train_300
Original Image: P03618.jpg
GT: knife
knife Detection preview by Box_v11_medium_train_SIXray_OPIXray No objects detected Detection preview by DN_Medium_300_yolov8m_20t7_new knife Detection preview by Segmentatation_v8_medium_train_250 No objects detected Detection preview by Segmentation_V11_large_300_train_300 No objects detected Detection preview by Segmentation_v8_large_300_train_300
Original Image: P03619.jpg
GT: gun, knife
gun, knife Detection preview by Box_v11_medium_train_SIXray_OPIXray No objects detected Detection preview by DN_Medium_300_yolov8m_20t7_new gun, knife Detection preview by Segmentatation_v8_medium_train_250 gun, knife Detection preview by Segmentation_V11_large_300_train_300 gun, knife Detection preview by Segmentation_v8_large_300_train_300
Original Image: P03620.jpg
GT: gun
gun Detection preview by Box_v11_medium_train_SIXray_OPIXray No objects detected Detection preview by DN_Medium_300_yolov8m_20t7_new gun Detection preview by Segmentatation_v8_medium_train_250 gun Detection preview by Segmentation_V11_large_300_train_300 gun Detection preview by Segmentation_v8_large_300_train_300
Original Image: P03621.jpg
GT: gun, knife
gun, knife Detection preview by Box_v11_medium_train_SIXray_OPIXray No objects detected Detection preview by DN_Medium_300_yolov8m_20t7_new gun, knife Detection preview by Segmentatation_v8_medium_train_250 gun, knife Detection preview by Segmentation_V11_large_300_train_300 gun, knife Detection preview by Segmentation_v8_large_300_train_300
Original Image: P03622.jpg
GT: gun
gun Detection preview by Box_v11_medium_train_SIXray_OPIXray No objects detected Detection preview by DN_Medium_300_yolov8m_20t7_new gun Detection preview by Segmentatation_v8_medium_train_250 gun Detection preview by Segmentation_V11_large_300_train_300 gun Detection preview by Segmentation_v8_large_300_train_300
Original Image: P03623.jpg
GT: gun
gun Detection preview by Box_v11_medium_train_SIXray_OPIXray No objects detected Detection preview by DN_Medium_300_yolov8m_20t7_new gun Detection preview by Segmentatation_v8_medium_train_250 gun Detection preview by Segmentation_V11_large_300_train_300 gun Detection preview by Segmentation_v8_large_300_train_300
Original Image: P03624.jpg
GT: gun
gun Detection preview by Box_v11_medium_train_SIXray_OPIXray No objects detected Detection preview by DN_Medium_300_yolov8m_20t7_new gun Detection preview by Segmentatation_v8_medium_train_250 gun Detection preview by Segmentation_V11_large_300_train_300 gun Detection preview by Segmentation_v8_large_300_train_300
Original Image: P03625.jpg
GT: gun, knife
gun, knife Detection preview by Box_v11_medium_train_SIXray_OPIXray No objects detected Detection preview by DN_Medium_300_yolov8m_20t7_new gun, knife Detection preview by Segmentatation_v8_medium_train_250 gun, knife Detection preview by Segmentation_V11_large_300_train_300 gun, knife Detection preview by Segmentation_v8_large_300_train_300
Original Image: P03626.jpg
GT: gun
gun Detection preview by Box_v11_medium_train_SIXray_OPIXray No objects detected Detection preview by DN_Medium_300_yolov8m_20t7_new gun Detection preview by Segmentatation_v8_medium_train_250 gun Detection preview by Segmentation_V11_large_300_train_300 gun Detection preview by Segmentation_v8_large_300_train_300
Original Image: P03627.jpg
GT: gun, knife
gun, knife Detection preview by Box_v11_medium_train_SIXray_OPIXray No objects detected Detection preview by DN_Medium_300_yolov8m_20t7_new gun, knife Detection preview by Segmentatation_v8_medium_train_250 gun, knife Detection preview by Segmentation_V11_large_300_train_300 gun, knife Detection preview by Segmentation_v8_large_300_train_300
Original Image: P03628.jpg
GT: gun
gun Detection preview by Box_v11_medium_train_SIXray_OPIXray No objects detected Detection preview by DN_Medium_300_yolov8m_20t7_new gun Detection preview by Segmentatation_v8_medium_train_250 gun Detection preview by Segmentation_V11_large_300_train_300 gun Detection preview by Segmentation_v8_large_300_train_300
Original Image: P03629.jpg
GT: gun
gun Detection preview by Box_v11_medium_train_SIXray_OPIXray No objects detected Detection preview by DN_Medium_300_yolov8m_20t7_new gun Detection preview by Segmentatation_v8_medium_train_250 gun Detection preview by Segmentation_V11_large_300_train_300 gun Detection preview by Segmentation_v8_large_300_train_300
Original Image: P03630.jpg
GT: gun, knife
gun, knife Detection preview by Box_v11_medium_train_SIXray_OPIXray No objects detected Detection preview by DN_Medium_300_yolov8m_20t7_new gun, knife Detection preview by Segmentatation_v8_medium_train_250 gun, knife Detection preview by Segmentation_V11_large_300_train_300 gun, knife Detection preview by Segmentation_v8_large_300_train_300
Original Image: P03631.jpg
GT: gun
gun Detection preview by Box_v11_medium_train_SIXray_OPIXray No objects detected Detection preview by DN_Medium_300_yolov8m_20t7_new gun Detection preview by Segmentatation_v8_medium_train_250 gun Detection preview by Segmentation_V11_large_300_train_300 gun Detection preview by Segmentation_v8_large_300_train_300
Original Image: P03632.jpg
GT: gun, knife
gun, knife Detection preview by Box_v11_medium_train_SIXray_OPIXray No objects detected Detection preview by DN_Medium_300_yolov8m_20t7_new gun, knife Detection preview by Segmentatation_v8_medium_train_250 gun, knife Detection preview by Segmentation_V11_large_300_train_300 gun, knife Detection preview by Segmentation_v8_large_300_train_300
Original Image: P03633.jpg
GT: gun
gun Detection preview by Box_v11_medium_train_SIXray_OPIXray No objects detected Detection preview by DN_Medium_300_yolov8m_20t7_new gun Detection preview by Segmentatation_v8_medium_train_250 gun Detection preview by Segmentation_V11_large_300_train_300 gun Detection preview by Segmentation_v8_large_300_train_300
Original Image: P03634.jpg
GT: knife
knife Detection preview by Box_v11_medium_train_SIXray_OPIXray No objects detected Detection preview by DN_Medium_300_yolov8m_20t7_new knife Detection preview by Segmentatation_v8_medium_train_250 knife Detection preview by Segmentation_V11_large_300_train_300 knife Detection preview by Segmentation_v8_large_300_train_300
Original Image: P03635.jpg
GT: gun
gun Detection preview by Box_v11_medium_train_SIXray_OPIXray No objects detected Detection preview by DN_Medium_300_yolov8m_20t7_new gun Detection preview by Segmentatation_v8_medium_train_250 gun Detection preview by Segmentation_V11_large_300_train_300 gun Detection preview by Segmentation_v8_large_300_train_300
Original Image: P03636.jpg
GT: gun, knife
gun, knife Detection preview by Box_v11_medium_train_SIXray_OPIXray No objects detected Detection preview by DN_Medium_300_yolov8m_20t7_new gun, knife Detection preview by Segmentatation_v8_medium_train_250 gun, knife Detection preview by Segmentation_V11_large_300_train_300 gun, knife Detection preview by Segmentation_v8_large_300_train_300
Original Image: P03637.jpg
GT: gun, knife
gun, knife Detection preview by Box_v11_medium_train_SIXray_OPIXray No objects detected Detection preview by DN_Medium_300_yolov8m_20t7_new gun, knife Detection preview by Segmentatation_v8_medium_train_250 gun, knife Detection preview by Segmentation_V11_large_300_train_300 gun, knife Detection preview by Segmentation_v8_large_300_train_300
Original Image: P03638.jpg
GT: gun
gun Detection preview by Box_v11_medium_train_SIXray_OPIXray No objects detected Detection preview by DN_Medium_300_yolov8m_20t7_new gun Detection preview by Segmentatation_v8_medium_train_250 gun Detection preview by Segmentation_V11_large_300_train_300 gun Detection preview by Segmentation_v8_large_300_train_300
Original Image: P03639.jpg
GT: gun
gun Detection preview by Box_v11_medium_train_SIXray_OPIXray No objects detected Detection preview by DN_Medium_300_yolov8m_20t7_new gun Detection preview by Segmentatation_v8_medium_train_250 gun Detection preview by Segmentation_V11_large_300_train_300 gun Detection preview by Segmentation_v8_large_300_train_300
Original Image: P03640.jpg
GT: gun
gun Detection preview by Box_v11_medium_train_SIXray_OPIXray No objects detected Detection preview by DN_Medium_300_yolov8m_20t7_new gun Detection preview by Segmentatation_v8_medium_train_250 gun Detection preview by Segmentation_V11_large_300_train_300 gun Detection preview by Segmentation_v8_large_300_train_300
Original Image: P03641.jpg
GT: gun
gun Detection preview by Box_v11_medium_train_SIXray_OPIXray No objects detected Detection preview by DN_Medium_300_yolov8m_20t7_new No objects detected Detection preview by Segmentatation_v8_medium_train_250 gun Detection preview by Segmentation_V11_large_300_train_300 No objects detected Detection preview by Segmentation_v8_large_300_train_300
Original Image: P03642.jpg
GT: gun
gun Detection preview by Box_v11_medium_train_SIXray_OPIXray No objects detected Detection preview by DN_Medium_300_yolov8m_20t7_new gun Detection preview by Segmentatation_v8_medium_train_250 gun Detection preview by Segmentation_V11_large_300_train_300 gun Detection preview by Segmentation_v8_large_300_train_300
Original Image: P03643.jpg
GT: knife
knife Detection preview by Box_v11_medium_train_SIXray_OPIXray No objects detected Detection preview by DN_Medium_300_yolov8m_20t7_new knife Detection preview by Segmentatation_v8_medium_train_250 knife Detection preview by Segmentation_V11_large_300_train_300 knife Detection preview by Segmentation_v8_large_300_train_300
Original Image: P03644.jpg
GT: gun
gun Detection preview by Box_v11_medium_train_SIXray_OPIXray No objects detected Detection preview by DN_Medium_300_yolov8m_20t7_new gun Detection preview by Segmentatation_v8_medium_train_250 gun Detection preview by Segmentation_V11_large_300_train_300 gun Detection preview by Segmentation_v8_large_300_train_300
Original Image: P03645.jpg
GT: gun, knife
gun, knife Detection preview by Box_v11_medium_train_SIXray_OPIXray No objects detected Detection preview by DN_Medium_300_yolov8m_20t7_new gun, knife Detection preview by Segmentatation_v8_medium_train_250 gun, knife Detection preview by Segmentation_V11_large_300_train_300 gun, knife Detection preview by Segmentation_v8_large_300_train_300
Original Image: P03646.jpg
GT: gun
gun Detection preview by Box_v11_medium_train_SIXray_OPIXray No objects detected Detection preview by DN_Medium_300_yolov8m_20t7_new gun Detection preview by Segmentatation_v8_medium_train_250 gun Detection preview by Segmentation_V11_large_300_train_300 gun Detection preview by Segmentation_v8_large_300_train_300
Original Image: P03647.jpg
GT: gun, knife
gun, knife Detection preview by Box_v11_medium_train_SIXray_OPIXray No objects detected Detection preview by DN_Medium_300_yolov8m_20t7_new gun, knife Detection preview by Segmentatation_v8_medium_train_250 gun, knife Detection preview by Segmentation_V11_large_300_train_300 gun, knife Detection preview by Segmentation_v8_large_300_train_300
Original Image: P03648.jpg
GT: gun
gun Detection preview by Box_v11_medium_train_SIXray_OPIXray No objects detected Detection preview by DN_Medium_300_yolov8m_20t7_new gun Detection preview by Segmentatation_v8_medium_train_250 gun Detection preview by Segmentation_V11_large_300_train_300 gun Detection preview by Segmentation_v8_large_300_train_300
Original Image: P03649.jpg
GT: gun
gun Detection preview by Box_v11_medium_train_SIXray_OPIXray No objects detected Detection preview by DN_Medium_300_yolov8m_20t7_new gun Detection preview by Segmentatation_v8_medium_train_250 gun Detection preview by Segmentation_V11_large_300_train_300 gun Detection preview by Segmentation_v8_large_300_train_300
Original Image: P03650.jpg
GT: gun, knife
gun, knife Detection preview by Box_v11_medium_train_SIXray_OPIXray No objects detected Detection preview by DN_Medium_300_yolov8m_20t7_new gun, knife Detection preview by Segmentatation_v8_medium_train_250 gun, knife Detection preview by Segmentation_V11_large_300_train_300 gun, knife Detection preview by Segmentation_v8_large_300_train_300
Original Image: P03651.jpg
GT: gun
gun Detection preview by Box_v11_medium_train_SIXray_OPIXray No objects detected Detection preview by DN_Medium_300_yolov8m_20t7_new gun Detection preview by Segmentatation_v8_medium_train_250 gun Detection preview by Segmentation_V11_large_300_train_300 gun Detection preview by Segmentation_v8_large_300_train_300
Original Image: P03652.jpg
GT: gun
gun Detection preview by Box_v11_medium_train_SIXray_OPIXray No objects detected Detection preview by DN_Medium_300_yolov8m_20t7_new gun Detection preview by Segmentatation_v8_medium_train_250 gun Detection preview by Segmentation_V11_large_300_train_300 gun Detection preview by Segmentation_v8_large_300_train_300
Original Image: P03653.jpg
GT: gun
gun Detection preview by Box_v11_medium_train_SIXray_OPIXray No objects detected Detection preview by DN_Medium_300_yolov8m_20t7_new gun Detection preview by Segmentatation_v8_medium_train_250 gun Detection preview by Segmentation_V11_large_300_train_300 gun Detection preview by Segmentation_v8_large_300_train_300
Original Image: P03654.jpg
GT: gun
gun Detection preview by Box_v11_medium_train_SIXray_OPIXray No objects detected Detection preview by DN_Medium_300_yolov8m_20t7_new gun, scissor Detection preview by Segmentatation_v8_medium_train_250 gun, scissor Detection preview by Segmentation_V11_large_300_train_300 gun Detection preview by Segmentation_v8_large_300_train_300
Original Image: P03655.jpg
GT: gun
gun Detection preview by Box_v11_medium_train_SIXray_OPIXray gun Detection preview by DN_Medium_300_yolov8m_20t7_new gun Detection preview by Segmentatation_v8_medium_train_250 gun Detection preview by Segmentation_V11_large_300_train_300 gun Detection preview by Segmentation_v8_large_300_train_300
Original Image: P03656.jpg
GT: gun
gun Detection preview by Box_v11_medium_train_SIXray_OPIXray No objects detected Detection preview by DN_Medium_300_yolov8m_20t7_new gun Detection preview by Segmentatation_v8_medium_train_250 gun Detection preview by Segmentation_V11_large_300_train_300 gun Detection preview by Segmentation_v8_large_300_train_300
Original Image: P03657.jpg
GT: gun
gun Detection preview by Box_v11_medium_train_SIXray_OPIXray No objects detected Detection preview by DN_Medium_300_yolov8m_20t7_new No objects detected Detection preview by Segmentatation_v8_medium_train_250 No objects detected Detection preview by Segmentation_V11_large_300_train_300 No objects detected Detection preview by Segmentation_v8_large_300_train_300
Original Image: P03658.jpg
GT: gun
gun Detection preview by Box_v11_medium_train_SIXray_OPIXray No objects detected Detection preview by DN_Medium_300_yolov8m_20t7_new gun Detection preview by Segmentatation_v8_medium_train_250 gun Detection preview by Segmentation_V11_large_300_train_300 gun Detection preview by Segmentation_v8_large_300_train_300
Original Image: P03659.jpg
GT: gun
gun Detection preview by Box_v11_medium_train_SIXray_OPIXray No objects detected Detection preview by DN_Medium_300_yolov8m_20t7_new gun Detection preview by Segmentatation_v8_medium_train_250 gun Detection preview by Segmentation_V11_large_300_train_300 gun Detection preview by Segmentation_v8_large_300_train_300
Original Image: P03660.jpg
GT: gun
gun Detection preview by Box_v11_medium_train_SIXray_OPIXray No objects detected Detection preview by DN_Medium_300_yolov8m_20t7_new gun Detection preview by Segmentatation_v8_medium_train_250 gun Detection preview by Segmentation_V11_large_300_train_300 gun Detection preview by Segmentation_v8_large_300_train_300
Original Image: P03661.jpg
GT: gun
gun Detection preview by Box_v11_medium_train_SIXray_OPIXray gun Detection preview by DN_Medium_300_yolov8m_20t7_new gun Detection preview by Segmentatation_v8_medium_train_250 gun Detection preview by Segmentation_V11_large_300_train_300 gun Detection preview by Segmentation_v8_large_300_train_300
Original Image: P03662.jpg
GT: gun
gun Detection preview by Box_v11_medium_train_SIXray_OPIXray No objects detected Detection preview by DN_Medium_300_yolov8m_20t7_new gun Detection preview by Segmentatation_v8_medium_train_250 gun Detection preview by Segmentation_V11_large_300_train_300 gun Detection preview by Segmentation_v8_large_300_train_300
Original Image: P03663.jpg
GT: gun, pliers, scissors
gun, pliers, scissor Detection preview by Box_v11_medium_train_SIXray_OPIXray No objects detected Detection preview by DN_Medium_300_yolov8m_20t7_new gun Detection preview by Segmentatation_v8_medium_train_250 gun Detection preview by Segmentation_V11_large_300_train_300 gun Detection preview by Segmentation_v8_large_300_train_300
Original Image: P03664.jpg
GT: gun, pliers, scissors
gun, pliers, scissor Detection preview by Box_v11_medium_train_SIXray_OPIXray No objects detected Detection preview by DN_Medium_300_yolov8m_20t7_new gun, scissor Detection preview by Segmentatation_v8_medium_train_250 gun, scissor Detection preview by Segmentation_V11_large_300_train_300 gun, scissor Detection preview by Segmentation_v8_large_300_train_300
Original Image: P03665.jpg
GT: gun, pliers
gun, pliers Detection preview by Box_v11_medium_train_SIXray_OPIXray pliers Detection preview by DN_Medium_300_yolov8m_20t7_new gun Detection preview by Segmentatation_v8_medium_train_250 gun Detection preview by Segmentation_V11_large_300_train_300 gun Detection preview by Segmentation_v8_large_300_train_300
Original Image: P03666.jpg
GT: gun
gun Detection preview by Box_v11_medium_train_SIXray_OPIXray No objects detected Detection preview by DN_Medium_300_yolov8m_20t7_new gun Detection preview by Segmentatation_v8_medium_train_250 gun Detection preview by Segmentation_V11_large_300_train_300 gun Detection preview by Segmentation_v8_large_300_train_300
Original Image: P03667.jpg
GT: gun
gun Detection preview by Box_v11_medium_train_SIXray_OPIXray No objects detected Detection preview by DN_Medium_300_yolov8m_20t7_new gun Detection preview by Segmentatation_v8_medium_train_250 gun Detection preview by Segmentation_V11_large_300_train_300 gun Detection preview by Segmentation_v8_large_300_train_300
Original Image: P03668.jpg
GT: gun
gun Detection preview by Box_v11_medium_train_SIXray_OPIXray No objects detected Detection preview by DN_Medium_300_yolov8m_20t7_new gun Detection preview by Segmentatation_v8_medium_train_250 gun Detection preview by Segmentation_V11_large_300_train_300 gun Detection preview by Segmentation_v8_large_300_train_300
Original Image: P03669.jpg
GT: gun, pliers, scissors
gun, pliers, scissor Detection preview by Box_v11_medium_train_SIXray_OPIXray No objects detected Detection preview by DN_Medium_300_yolov8m_20t7_new gun, scissor, wrench Detection preview by Segmentatation_v8_medium_train_250 gun, scissor, wrench Detection preview by Segmentation_V11_large_300_train_300 gun, scissor, wrench Detection preview by Segmentation_v8_large_300_train_300
Original Image: P03670.jpg
GT: gun
gun Detection preview by Box_v11_medium_train_SIXray_OPIXray No objects detected Detection preview by DN_Medium_300_yolov8m_20t7_new gun Detection preview by Segmentatation_v8_medium_train_250 gun Detection preview by Segmentation_V11_large_300_train_300 gun Detection preview by Segmentation_v8_large_300_train_300
Original Image: P03671.jpg
GT: gun
gun Detection preview by Box_v11_medium_train_SIXray_OPIXray No objects detected Detection preview by DN_Medium_300_yolov8m_20t7_new gun Detection preview by Segmentatation_v8_medium_train_250 gun Detection preview by Segmentation_V11_large_300_train_300 gun Detection preview by Segmentation_v8_large_300_train_300
Original Image: P03672.jpg
GT: gun
gun Detection preview by Box_v11_medium_train_SIXray_OPIXray gun Detection preview by DN_Medium_300_yolov8m_20t7_new gun Detection preview by Segmentatation_v8_medium_train_250 gun Detection preview by Segmentation_V11_large_300_train_300 gun Detection preview by Segmentation_v8_large_300_train_300
Original Image: P03673.jpg
GT: gun
gun Detection preview by Box_v11_medium_train_SIXray_OPIXray No objects detected Detection preview by DN_Medium_300_yolov8m_20t7_new gun Detection preview by Segmentatation_v8_medium_train_250 gun Detection preview by Segmentation_V11_large_300_train_300 gun Detection preview by Segmentation_v8_large_300_train_300
Original Image: P03674.jpg
GT: gun
gun Detection preview by Box_v11_medium_train_SIXray_OPIXray No objects detected Detection preview by DN_Medium_300_yolov8m_20t7_new No objects detected Detection preview by Segmentatation_v8_medium_train_250 gun Detection preview by Segmentation_V11_large_300_train_300 No objects detected Detection preview by Segmentation_v8_large_300_train_300
Original Image: P03675.jpg
GT: gun
gun Detection preview by Box_v11_medium_train_SIXray_OPIXray No objects detected Detection preview by DN_Medium_300_yolov8m_20t7_new gun Detection preview by Segmentatation_v8_medium_train_250 gun Detection preview by Segmentation_V11_large_300_train_300 gun Detection preview by Segmentation_v8_large_300_train_300
Original Image: P03676.jpg
GT: gun
gun Detection preview by Box_v11_medium_train_SIXray_OPIXray No objects detected Detection preview by DN_Medium_300_yolov8m_20t7_new gun Detection preview by Segmentatation_v8_medium_train_250 gun Detection preview by Segmentation_V11_large_300_train_300 gun Detection preview by Segmentation_v8_large_300_train_300
Original Image: P03677.jpg
GT: gun, pliers
gun, pliers Detection preview by Box_v11_medium_train_SIXray_OPIXray pliers Detection preview by DN_Medium_300_yolov8m_20t7_new gun Detection preview by Segmentatation_v8_medium_train_250 gun Detection preview by Segmentation_V11_large_300_train_300 gun Detection preview by Segmentation_v8_large_300_train_300
Original Image: P03678.jpg
GT: gun
gun Detection preview by Box_v11_medium_train_SIXray_OPIXray No objects detected Detection preview by DN_Medium_300_yolov8m_20t7_new gun Detection preview by Segmentatation_v8_medium_train_250 gun Detection preview by Segmentation_V11_large_300_train_300 gun Detection preview by Segmentation_v8_large_300_train_300
Original Image: P03679.jpg
GT: gun
gun Detection preview by Box_v11_medium_train_SIXray_OPIXray No objects detected Detection preview by DN_Medium_300_yolov8m_20t7_new gun Detection preview by Segmentatation_v8_medium_train_250 gun Detection preview by Segmentation_V11_large_300_train_300 gun Detection preview by Segmentation_v8_large_300_train_300
Original Image: P03680.jpg
GT: gun
gun Detection preview by Box_v11_medium_train_SIXray_OPIXray gun Detection preview by DN_Medium_300_yolov8m_20t7_new gun Detection preview by Segmentatation_v8_medium_train_250 gun Detection preview by Segmentation_V11_large_300_train_300 gun Detection preview by Segmentation_v8_large_300_train_300
Original Image: P03681.jpg
GT: gun
gun Detection preview by Box_v11_medium_train_SIXray_OPIXray No objects detected Detection preview by DN_Medium_300_yolov8m_20t7_new gun Detection preview by Segmentatation_v8_medium_train_250 gun Detection preview by Segmentation_V11_large_300_train_300 gun Detection preview by Segmentation_v8_large_300_train_300
Original Image: P03682.jpg
GT: gun
gun Detection preview by Box_v11_medium_train_SIXray_OPIXray No objects detected Detection preview by DN_Medium_300_yolov8m_20t7_new gun Detection preview by Segmentatation_v8_medium_train_250 gun Detection preview by Segmentation_V11_large_300_train_300 gun Detection preview by Segmentation_v8_large_300_train_300
Original Image: P03683.jpg
GT: gun
gun Detection preview by Box_v11_medium_train_SIXray_OPIXray No objects detected Detection preview by DN_Medium_300_yolov8m_20t7_new gun Detection preview by Segmentatation_v8_medium_train_250 gun Detection preview by Segmentation_V11_large_300_train_300 gun Detection preview by Segmentation_v8_large_300_train_300
Original Image: P03684.jpg
GT: gun
gun Detection preview by Box_v11_medium_train_SIXray_OPIXray No objects detected Detection preview by DN_Medium_300_yolov8m_20t7_new gun Detection preview by Segmentatation_v8_medium_train_250 gun Detection preview by Segmentation_V11_large_300_train_300 gun Detection preview by Segmentation_v8_large_300_train_300
Original Image: P03685.jpg
GT: gun
gun Detection preview by Box_v11_medium_train_SIXray_OPIXray No objects detected Detection preview by DN_Medium_300_yolov8m_20t7_new gun Detection preview by Segmentatation_v8_medium_train_250 gun Detection preview by Segmentation_V11_large_300_train_300 gun Detection preview by Segmentation_v8_large_300_train_300
Original Image: P03686.jpg
GT: gun
gun Detection preview by Box_v11_medium_train_SIXray_OPIXray No objects detected Detection preview by DN_Medium_300_yolov8m_20t7_new gun Detection preview by Segmentatation_v8_medium_train_250 gun Detection preview by Segmentation_V11_large_300_train_300 gun Detection preview by Segmentation_v8_large_300_train_300
Original Image: P03687.jpg
GT: gun
gun Detection preview by Box_v11_medium_train_SIXray_OPIXray No objects detected Detection preview by DN_Medium_300_yolov8m_20t7_new gun Detection preview by Segmentatation_v8_medium_train_250 gun Detection preview by Segmentation_V11_large_300_train_300 gun Detection preview by Segmentation_v8_large_300_train_300
Original Image: P03688.jpg
GT: gun
gun Detection preview by Box_v11_medium_train_SIXray_OPIXray No objects detected Detection preview by DN_Medium_300_yolov8m_20t7_new gun Detection preview by Segmentatation_v8_medium_train_250 gun Detection preview by Segmentation_V11_large_300_train_300 gun Detection preview by Segmentation_v8_large_300_train_300
Original Image: P03689.jpg
GT: gun
gun Detection preview by Box_v11_medium_train_SIXray_OPIXray No objects detected Detection preview by DN_Medium_300_yolov8m_20t7_new gun Detection preview by Segmentatation_v8_medium_train_250 gun Detection preview by Segmentation_V11_large_300_train_300 gun Detection preview by Segmentation_v8_large_300_train_300
Original Image: P03690.jpg
GT: gun
gun Detection preview by Box_v11_medium_train_SIXray_OPIXray gun Detection preview by DN_Medium_300_yolov8m_20t7_new gun Detection preview by Segmentatation_v8_medium_train_250 gun Detection preview by Segmentation_V11_large_300_train_300 gun Detection preview by Segmentation_v8_large_300_train_300
Original Image: P03691.jpg
GT: gun
gun Detection preview by Box_v11_medium_train_SIXray_OPIXray No objects detected Detection preview by DN_Medium_300_yolov8m_20t7_new gun Detection preview by Segmentatation_v8_medium_train_250 gun Detection preview by Segmentation_V11_large_300_train_300 gun Detection preview by Segmentation_v8_large_300_train_300
Original Image: P03692.jpg
GT: gun
gun Detection preview by Box_v11_medium_train_SIXray_OPIXray gun Detection preview by DN_Medium_300_yolov8m_20t7_new gun Detection preview by Segmentatation_v8_medium_train_250 gun Detection preview by Segmentation_V11_large_300_train_300 gun Detection preview by Segmentation_v8_large_300_train_300
Original Image: P03693.jpg
GT: gun
gun Detection preview by Box_v11_medium_train_SIXray_OPIXray No objects detected Detection preview by DN_Medium_300_yolov8m_20t7_new gun Detection preview by Segmentatation_v8_medium_train_250 gun Detection preview by Segmentation_V11_large_300_train_300 gun Detection preview by Segmentation_v8_large_300_train_300
Original Image: P03694.jpg
GT: gun
gun Detection preview by Box_v11_medium_train_SIXray_OPIXray No objects detected Detection preview by DN_Medium_300_yolov8m_20t7_new gun Detection preview by Segmentatation_v8_medium_train_250 gun Detection preview by Segmentation_V11_large_300_train_300 gun Detection preview by Segmentation_v8_large_300_train_300
Original Image: P03695.jpg
GT: gun
gun Detection preview by Box_v11_medium_train_SIXray_OPIXray No objects detected Detection preview by DN_Medium_300_yolov8m_20t7_new gun Detection preview by Segmentatation_v8_medium_train_250 gun Detection preview by Segmentation_V11_large_300_train_300 gun Detection preview by Segmentation_v8_large_300_train_300
Original Image: P03696.jpg
GT: gun
gun Detection preview by Box_v11_medium_train_SIXray_OPIXray No objects detected Detection preview by DN_Medium_300_yolov8m_20t7_new gun Detection preview by Segmentatation_v8_medium_train_250 gun Detection preview by Segmentation_V11_large_300_train_300 gun Detection preview by Segmentation_v8_large_300_train_300
Original Image: P03697.jpg
GT: gun
gun Detection preview by Box_v11_medium_train_SIXray_OPIXray gun Detection preview by DN_Medium_300_yolov8m_20t7_new gun Detection preview by Segmentatation_v8_medium_train_250 gun Detection preview by Segmentation_V11_large_300_train_300 gun Detection preview by Segmentation_v8_large_300_train_300
Original Image: P03698.jpg
GT: gun
gun Detection preview by Box_v11_medium_train_SIXray_OPIXray No objects detected Detection preview by DN_Medium_300_yolov8m_20t7_new gun Detection preview by Segmentatation_v8_medium_train_250 gun Detection preview by Segmentation_V11_large_300_train_300 gun Detection preview by Segmentation_v8_large_300_train_300
Original Image: P03699.jpg
GT: gun
gun Detection preview by Box_v11_medium_train_SIXray_OPIXray gun Detection preview by DN_Medium_300_yolov8m_20t7_new gun Detection preview by Segmentatation_v8_medium_train_250 gun Detection preview by Segmentation_V11_large_300_train_300 gun Detection preview by Segmentation_v8_large_300_train_300
Original Image: P03700.jpg
GT: gun
gun Detection preview by Box_v11_medium_train_SIXray_OPIXray No objects detected Detection preview by DN_Medium_300_yolov8m_20t7_new gun Detection preview by Segmentatation_v8_medium_train_250 gun Detection preview by Segmentation_V11_large_300_train_300 gun Detection preview by Segmentation_v8_large_300_train_300
Original Image: P03701.jpg
GT: gun
gun Detection preview by Box_v11_medium_train_SIXray_OPIXray No objects detected Detection preview by DN_Medium_300_yolov8m_20t7_new gun Detection preview by Segmentatation_v8_medium_train_250 gun Detection preview by Segmentation_V11_large_300_train_300 gun Detection preview by Segmentation_v8_large_300_train_300
Original Image: P03702.jpg
GT: gun
gun Detection preview by Box_v11_medium_train_SIXray_OPIXray No objects detected Detection preview by DN_Medium_300_yolov8m_20t7_new gun Detection preview by Segmentatation_v8_medium_train_250 gun Detection preview by Segmentation_V11_large_300_train_300 gun Detection preview by Segmentation_v8_large_300_train_300
Original Image: P03703.jpg
GT: gun
gun Detection preview by Box_v11_medium_train_SIXray_OPIXray gun Detection preview by DN_Medium_300_yolov8m_20t7_new gun Detection preview by Segmentatation_v8_medium_train_250 gun Detection preview by Segmentation_V11_large_300_train_300 gun Detection preview by Segmentation_v8_large_300_train_300
Original Image: P03704.jpg
GT: gun, pliers
gun, pliers Detection preview by Box_v11_medium_train_SIXray_OPIXray pliers Detection preview by DN_Medium_300_yolov8m_20t7_new gun Detection preview by Segmentatation_v8_medium_train_250 gun Detection preview by Segmentation_V11_large_300_train_300 gun Detection preview by Segmentation_v8_large_300_train_300
Original Image: P03705.jpg
GT: gun
gun Detection preview by Box_v11_medium_train_SIXray_OPIXray gun Detection preview by DN_Medium_300_yolov8m_20t7_new gun Detection preview by Segmentatation_v8_medium_train_250 gun Detection preview by Segmentation_V11_large_300_train_300 gun Detection preview by Segmentation_v8_large_300_train_300
Original Image: P03706.jpg
GT: gun, pliers
gun, pliers Detection preview by Box_v11_medium_train_SIXray_OPIXray pliers Detection preview by DN_Medium_300_yolov8m_20t7_new gun Detection preview by Segmentatation_v8_medium_train_250 gun Detection preview by Segmentation_V11_large_300_train_300 gun Detection preview by Segmentation_v8_large_300_train_300
Original Image: P03707.jpg
GT: gun
gun Detection preview by Box_v11_medium_train_SIXray_OPIXray No objects detected Detection preview by DN_Medium_300_yolov8m_20t7_new gun Detection preview by Segmentatation_v8_medium_train_250 gun Detection preview by Segmentation_V11_large_300_train_300 gun Detection preview by Segmentation_v8_large_300_train_300
Original Image: P03708.jpg
GT: gun, pliers
gun, pliers Detection preview by Box_v11_medium_train_SIXray_OPIXray pliers Detection preview by DN_Medium_300_yolov8m_20t7_new gun Detection preview by Segmentatation_v8_medium_train_250 gun Detection preview by Segmentation_V11_large_300_train_300 gun Detection preview by Segmentation_v8_large_300_train_300
Original Image: P03709.jpg
GT: gun
gun Detection preview by Box_v11_medium_train_SIXray_OPIXray No objects detected Detection preview by DN_Medium_300_yolov8m_20t7_new gun Detection preview by Segmentatation_v8_medium_train_250 gun Detection preview by Segmentation_V11_large_300_train_300 gun Detection preview by Segmentation_v8_large_300_train_300
Original Image: P03710.jpg
GT: gun
gun Detection preview by Box_v11_medium_train_SIXray_OPIXray No objects detected Detection preview by DN_Medium_300_yolov8m_20t7_new gun Detection preview by Segmentatation_v8_medium_train_250 gun Detection preview by Segmentation_V11_large_300_train_300 gun Detection preview by Segmentation_v8_large_300_train_300
Original Image: P03711.jpg
GT: gun
gun Detection preview by Box_v11_medium_train_SIXray_OPIXray No objects detected Detection preview by DN_Medium_300_yolov8m_20t7_new gun Detection preview by Segmentatation_v8_medium_train_250 gun Detection preview by Segmentation_V11_large_300_train_300 gun Detection preview by Segmentation_v8_large_300_train_300
Original Image: P03712.jpg
GT: gun
gun Detection preview by Box_v11_medium_train_SIXray_OPIXray gun Detection preview by DN_Medium_300_yolov8m_20t7_new gun Detection preview by Segmentatation_v8_medium_train_250 gun Detection preview by Segmentation_V11_large_300_train_300 gun Detection preview by Segmentation_v8_large_300_train_300
Original Image: P03713.jpg
GT: gun, pliers
gun, pliers Detection preview by Box_v11_medium_train_SIXray_OPIXray pliers Detection preview by DN_Medium_300_yolov8m_20t7_new gun Detection preview by Segmentatation_v8_medium_train_250 gun Detection preview by Segmentation_V11_large_300_train_300 gun Detection preview by Segmentation_v8_large_300_train_300
Original Image: P03714.jpg
GT: gun
gun Detection preview by Box_v11_medium_train_SIXray_OPIXray No objects detected Detection preview by DN_Medium_300_yolov8m_20t7_new gun Detection preview by Segmentatation_v8_medium_train_250 gun Detection preview by Segmentation_V11_large_300_train_300 gun Detection preview by Segmentation_v8_large_300_train_300
Original Image: P03715.jpg
GT: gun
gun Detection preview by Box_v11_medium_train_SIXray_OPIXray No objects detected Detection preview by DN_Medium_300_yolov8m_20t7_new gun Detection preview by Segmentatation_v8_medium_train_250 gun Detection preview by Segmentation_V11_large_300_train_300 gun Detection preview by Segmentation_v8_large_300_train_300
Original Image: P03716.jpg
GT: gun
gun Detection preview by Box_v11_medium_train_SIXray_OPIXray No objects detected Detection preview by DN_Medium_300_yolov8m_20t7_new gun Detection preview by Segmentatation_v8_medium_train_250 gun Detection preview by Segmentation_V11_large_300_train_300 gun Detection preview by Segmentation_v8_large_300_train_300
Original Image: P03717.jpg
GT: gun
gun Detection preview by Box_v11_medium_train_SIXray_OPIXray No objects detected Detection preview by DN_Medium_300_yolov8m_20t7_new gun Detection preview by Segmentatation_v8_medium_train_250 gun Detection preview by Segmentation_V11_large_300_train_300 gun Detection preview by Segmentation_v8_large_300_train_300
Original Image: P03718.jpg
GT: gun
gun Detection preview by Box_v11_medium_train_SIXray_OPIXray No objects detected Detection preview by DN_Medium_300_yolov8m_20t7_new gun Detection preview by Segmentatation_v8_medium_train_250 gun Detection preview by Segmentation_V11_large_300_train_300 gun Detection preview by Segmentation_v8_large_300_train_300
Original Image: P03719.jpg
GT: gun
gun Detection preview by Box_v11_medium_train_SIXray_OPIXray No objects detected Detection preview by DN_Medium_300_yolov8m_20t7_new gun Detection preview by Segmentatation_v8_medium_train_250 gun Detection preview by Segmentation_V11_large_300_train_300 gun Detection preview by Segmentation_v8_large_300_train_300
Original Image: P03720.jpg
GT: gun
gun Detection preview by Box_v11_medium_train_SIXray_OPIXray No objects detected Detection preview by DN_Medium_300_yolov8m_20t7_new gun Detection preview by Segmentatation_v8_medium_train_250 gun Detection preview by Segmentation_V11_large_300_train_300 gun Detection preview by Segmentation_v8_large_300_train_300
Original Image: P03721.jpg
GT: gun
gun Detection preview by Box_v11_medium_train_SIXray_OPIXray No objects detected Detection preview by DN_Medium_300_yolov8m_20t7_new gun Detection preview by Segmentatation_v8_medium_train_250 gun Detection preview by Segmentation_V11_large_300_train_300 gun Detection preview by Segmentation_v8_large_300_train_300
Original Image: P03722.jpg
GT: gun
gun Detection preview by Box_v11_medium_train_SIXray_OPIXray No objects detected Detection preview by DN_Medium_300_yolov8m_20t7_new gun Detection preview by Segmentatation_v8_medium_train_250 gun Detection preview by Segmentation_V11_large_300_train_300 gun Detection preview by Segmentation_v8_large_300_train_300
Original Image: P03723.jpg
GT: gun, pliers
gun, pliers Detection preview by Box_v11_medium_train_SIXray_OPIXray No objects detected Detection preview by DN_Medium_300_yolov8m_20t7_new gun Detection preview by Segmentatation_v8_medium_train_250 gun, scissor Detection preview by Segmentation_V11_large_300_train_300 gun, scissor Detection preview by Segmentation_v8_large_300_train_300
Original Image: P03724.jpg
GT: gun
gun Detection preview by Box_v11_medium_train_SIXray_OPIXray No objects detected Detection preview by DN_Medium_300_yolov8m_20t7_new gun Detection preview by Segmentatation_v8_medium_train_250 gun Detection preview by Segmentation_V11_large_300_train_300 gun Detection preview by Segmentation_v8_large_300_train_300
Original Image: P03725.jpg
GT: gun
gun Detection preview by Box_v11_medium_train_SIXray_OPIXray No objects detected Detection preview by DN_Medium_300_yolov8m_20t7_new gun Detection preview by Segmentatation_v8_medium_train_250 gun Detection preview by Segmentation_V11_large_300_train_300 gun Detection preview by Segmentation_v8_large_300_train_300
Original Image: P03726.jpg
GT: gun
gun Detection preview by Box_v11_medium_train_SIXray_OPIXray No objects detected Detection preview by DN_Medium_300_yolov8m_20t7_new gun Detection preview by Segmentatation_v8_medium_train_250 gun Detection preview by Segmentation_V11_large_300_train_300 gun Detection preview by Segmentation_v8_large_300_train_300
Original Image: P03727.jpg
GT: gun
gun Detection preview by Box_v11_medium_train_SIXray_OPIXray No objects detected Detection preview by DN_Medium_300_yolov8m_20t7_new gun Detection preview by Segmentatation_v8_medium_train_250 gun Detection preview by Segmentation_V11_large_300_train_300 gun Detection preview by Segmentation_v8_large_300_train_300
Original Image: P03728.jpg
GT: gun
gun Detection preview by Box_v11_medium_train_SIXray_OPIXray No objects detected Detection preview by DN_Medium_300_yolov8m_20t7_new gun Detection preview by Segmentatation_v8_medium_train_250 gun Detection preview by Segmentation_V11_large_300_train_300 gun Detection preview by Segmentation_v8_large_300_train_300
Original Image: P03729.jpg
GT: gun
gun Detection preview by Box_v11_medium_train_SIXray_OPIXray No objects detected Detection preview by DN_Medium_300_yolov8m_20t7_new gun Detection preview by Segmentatation_v8_medium_train_250 gun Detection preview by Segmentation_V11_large_300_train_300 gun Detection preview by Segmentation_v8_large_300_train_300
Original Image: P03730.jpg
GT: gun
gun Detection preview by Box_v11_medium_train_SIXray_OPIXray No objects detected Detection preview by DN_Medium_300_yolov8m_20t7_new gun Detection preview by Segmentatation_v8_medium_train_250 gun Detection preview by Segmentation_V11_large_300_train_300 gun Detection preview by Segmentation_v8_large_300_train_300
Original Image: P03731.jpg
GT: gun
gun Detection preview by Box_v11_medium_train_SIXray_OPIXray No objects detected Detection preview by DN_Medium_300_yolov8m_20t7_new gun Detection preview by Segmentatation_v8_medium_train_250 gun Detection preview by Segmentation_V11_large_300_train_300 gun Detection preview by Segmentation_v8_large_300_train_300
Original Image: P03732.jpg
GT: gun
gun Detection preview by Box_v11_medium_train_SIXray_OPIXray No objects detected Detection preview by DN_Medium_300_yolov8m_20t7_new No objects detected Detection preview by Segmentatation_v8_medium_train_250 No objects detected Detection preview by Segmentation_V11_large_300_train_300 gun Detection preview by Segmentation_v8_large_300_train_300
Original Image: P03733.jpg
GT: gun
gun Detection preview by Box_v11_medium_train_SIXray_OPIXray No objects detected Detection preview by DN_Medium_300_yolov8m_20t7_new gun Detection preview by Segmentatation_v8_medium_train_250 gun Detection preview by Segmentation_V11_large_300_train_300 gun Detection preview by Segmentation_v8_large_300_train_300
Original Image: P03734.jpg
GT: gun
gun Detection preview by Box_v11_medium_train_SIXray_OPIXray No objects detected Detection preview by DN_Medium_300_yolov8m_20t7_new gun Detection preview by Segmentatation_v8_medium_train_250 gun Detection preview by Segmentation_V11_large_300_train_300 gun Detection preview by Segmentation_v8_large_300_train_300
Original Image: P03735.jpg
GT: gun
gun Detection preview by Box_v11_medium_train_SIXray_OPIXray No objects detected Detection preview by DN_Medium_300_yolov8m_20t7_new gun Detection preview by Segmentatation_v8_medium_train_250 gun Detection preview by Segmentation_V11_large_300_train_300 gun Detection preview by Segmentation_v8_large_300_train_300
Original Image: P03736.jpg
GT: gun
gun Detection preview by Box_v11_medium_train_SIXray_OPIXray No objects detected Detection preview by DN_Medium_300_yolov8m_20t7_new gun Detection preview by Segmentatation_v8_medium_train_250 gun Detection preview by Segmentation_V11_large_300_train_300 gun Detection preview by Segmentation_v8_large_300_train_300
Original Image: P03737.jpg
GT: gun
gun Detection preview by Box_v11_medium_train_SIXray_OPIXray No objects detected Detection preview by DN_Medium_300_yolov8m_20t7_new gun Detection preview by Segmentatation_v8_medium_train_250 gun Detection preview by Segmentation_V11_large_300_train_300 gun Detection preview by Segmentation_v8_large_300_train_300
Original Image: P03738.jpg
GT: gun
gun Detection preview by Box_v11_medium_train_SIXray_OPIXray gun Detection preview by DN_Medium_300_yolov8m_20t7_new gun Detection preview by Segmentatation_v8_medium_train_250 gun Detection preview by Segmentation_V11_large_300_train_300 gun Detection preview by Segmentation_v8_large_300_train_300
Original Image: P03739.jpg
GT: gun
gun Detection preview by Box_v11_medium_train_SIXray_OPIXray No objects detected Detection preview by DN_Medium_300_yolov8m_20t7_new gun Detection preview by Segmentatation_v8_medium_train_250 gun Detection preview by Segmentation_V11_large_300_train_300 gun Detection preview by Segmentation_v8_large_300_train_300
Original Image: P03740.jpg
GT: gun
gun Detection preview by Box_v11_medium_train_SIXray_OPIXray No objects detected Detection preview by DN_Medium_300_yolov8m_20t7_new gun Detection preview by Segmentatation_v8_medium_train_250 gun Detection preview by Segmentation_V11_large_300_train_300 gun Detection preview by Segmentation_v8_large_300_train_300
Original Image: P03741.jpg
GT: gun
gun Detection preview by Box_v11_medium_train_SIXray_OPIXray No objects detected Detection preview by DN_Medium_300_yolov8m_20t7_new gun Detection preview by Segmentatation_v8_medium_train_250 gun Detection preview by Segmentation_V11_large_300_train_300 gun Detection preview by Segmentation_v8_large_300_train_300
Original Image: P03742.jpg
GT: gun
gun Detection preview by Box_v11_medium_train_SIXray_OPIXray No objects detected Detection preview by DN_Medium_300_yolov8m_20t7_new gun Detection preview by Segmentatation_v8_medium_train_250 gun Detection preview by Segmentation_V11_large_300_train_300 gun Detection preview by Segmentation_v8_large_300_train_300
Original Image: P03743.jpg
GT: gun
gun Detection preview by Box_v11_medium_train_SIXray_OPIXray gun Detection preview by DN_Medium_300_yolov8m_20t7_new gun Detection preview by Segmentatation_v8_medium_train_250 gun Detection preview by Segmentation_V11_large_300_train_300 gun Detection preview by Segmentation_v8_large_300_train_300
Original Image: P03744.jpg
GT: gun
gun Detection preview by Box_v11_medium_train_SIXray_OPIXray No objects detected Detection preview by DN_Medium_300_yolov8m_20t7_new gun Detection preview by Segmentatation_v8_medium_train_250 gun Detection preview by Segmentation_V11_large_300_train_300 gun Detection preview by Segmentation_v8_large_300_train_300
Original Image: P03745.jpg
GT: gun
gun Detection preview by Box_v11_medium_train_SIXray_OPIXray No objects detected Detection preview by DN_Medium_300_yolov8m_20t7_new gun Detection preview by Segmentatation_v8_medium_train_250 gun Detection preview by Segmentation_V11_large_300_train_300 gun Detection preview by Segmentation_v8_large_300_train_300
Original Image: P03746.jpg
GT: gun
gun Detection preview by Box_v11_medium_train_SIXray_OPIXray No objects detected Detection preview by DN_Medium_300_yolov8m_20t7_new gun Detection preview by Segmentatation_v8_medium_train_250 gun Detection preview by Segmentation_V11_large_300_train_300 gun Detection preview by Segmentation_v8_large_300_train_300
Original Image: P03747.jpg
GT: gun
gun Detection preview by Box_v11_medium_train_SIXray_OPIXray gun Detection preview by DN_Medium_300_yolov8m_20t7_new gun Detection preview by Segmentatation_v8_medium_train_250 gun Detection preview by Segmentation_V11_large_300_train_300 gun Detection preview by Segmentation_v8_large_300_train_300
Original Image: P03748.jpg
GT: gun
gun Detection preview by Box_v11_medium_train_SIXray_OPIXray No objects detected Detection preview by DN_Medium_300_yolov8m_20t7_new gun Detection preview by Segmentatation_v8_medium_train_250 gun Detection preview by Segmentation_V11_large_300_train_300 gun Detection preview by Segmentation_v8_large_300_train_300
Original Image: P03749.jpg
GT: gun
gun Detection preview by Box_v11_medium_train_SIXray_OPIXray No objects detected Detection preview by DN_Medium_300_yolov8m_20t7_new gun Detection preview by Segmentatation_v8_medium_train_250 gun Detection preview by Segmentation_V11_large_300_train_300 gun Detection preview by Segmentation_v8_large_300_train_300
Original Image: P03750.jpg
GT: gun
gun Detection preview by Box_v11_medium_train_SIXray_OPIXray No objects detected Detection preview by DN_Medium_300_yolov8m_20t7_new gun Detection preview by Segmentatation_v8_medium_train_250 gun Detection preview by Segmentation_V11_large_300_train_300 gun Detection preview by Segmentation_v8_large_300_train_300
Original Image: P03751.jpg
GT: gun
gun Detection preview by Box_v11_medium_train_SIXray_OPIXray No objects detected Detection preview by DN_Medium_300_yolov8m_20t7_new gun Detection preview by Segmentatation_v8_medium_train_250 gun Detection preview by Segmentation_V11_large_300_train_300 gun Detection preview by Segmentation_v8_large_300_train_300
Original Image: P03752.jpg
GT: gun
gun Detection preview by Box_v11_medium_train_SIXray_OPIXray No objects detected Detection preview by DN_Medium_300_yolov8m_20t7_new gun Detection preview by Segmentatation_v8_medium_train_250 gun Detection preview by Segmentation_V11_large_300_train_300 gun Detection preview by Segmentation_v8_large_300_train_300
Original Image: P03753.jpg
GT: gun
gun Detection preview by Box_v11_medium_train_SIXray_OPIXray No objects detected Detection preview by DN_Medium_300_yolov8m_20t7_new gun Detection preview by Segmentatation_v8_medium_train_250 gun Detection preview by Segmentation_V11_large_300_train_300 gun Detection preview by Segmentation_v8_large_300_train_300
Original Image: P03754.jpg
GT: gun
gun Detection preview by Box_v11_medium_train_SIXray_OPIXray No objects detected Detection preview by DN_Medium_300_yolov8m_20t7_new gun Detection preview by Segmentatation_v8_medium_train_250 gun Detection preview by Segmentation_V11_large_300_train_300 gun Detection preview by Segmentation_v8_large_300_train_300
Original Image: P03755.jpg
GT: gun
gun Detection preview by Box_v11_medium_train_SIXray_OPIXray No objects detected Detection preview by DN_Medium_300_yolov8m_20t7_new gun Detection preview by Segmentatation_v8_medium_train_250 gun Detection preview by Segmentation_V11_large_300_train_300 gun Detection preview by Segmentation_v8_large_300_train_300
Original Image: P03756.jpg
GT: gun
gun Detection preview by Box_v11_medium_train_SIXray_OPIXray No objects detected Detection preview by DN_Medium_300_yolov8m_20t7_new gun Detection preview by Segmentatation_v8_medium_train_250 gun Detection preview by Segmentation_V11_large_300_train_300 gun Detection preview by Segmentation_v8_large_300_train_300
Original Image: P03757.jpg
GT: knife
knife Detection preview by Box_v11_medium_train_SIXray_OPIXray No objects detected Detection preview by DN_Medium_300_yolov8m_20t7_new knife Detection preview by Segmentatation_v8_medium_train_250 knife Detection preview by Segmentation_V11_large_300_train_300 knife Detection preview by Segmentation_v8_large_300_train_300
Original Image: P03758.jpg
GT: knife
knife Detection preview by Box_v11_medium_train_SIXray_OPIXray No objects detected Detection preview by DN_Medium_300_yolov8m_20t7_new No objects detected Detection preview by Segmentatation_v8_medium_train_250 No objects detected Detection preview by Segmentation_V11_large_300_train_300 No objects detected Detection preview by Segmentation_v8_large_300_train_300
Original Image: P03759.jpg
GT: pliers
pliers Detection preview by Box_v11_medium_train_SIXray_OPIXray No objects detected Detection preview by DN_Medium_300_yolov8m_20t7_new No objects detected Detection preview by Segmentatation_v8_medium_train_250 No objects detected Detection preview by Segmentation_V11_large_300_train_300 No objects detected Detection preview by Segmentation_v8_large_300_train_300
Original Image: P03760.jpg
GT: scissors
scissor Detection preview by Box_v11_medium_train_SIXray_OPIXray No objects detected Detection preview by DN_Medium_300_yolov8m_20t7_new scissor Detection preview by Segmentatation_v8_medium_train_250 scissor Detection preview by Segmentation_V11_large_300_train_300 scissor Detection preview by Segmentation_v8_large_300_train_300
Original Image: P03761.jpg
GT: scissors
scissor Detection preview by Box_v11_medium_train_SIXray_OPIXray scissor Detection preview by DN_Medium_300_yolov8m_20t7_new scissor Detection preview by Segmentatation_v8_medium_train_250 scissor Detection preview by Segmentation_V11_large_300_train_300 scissor Detection preview by Segmentation_v8_large_300_train_300
Original Image: P03762.jpg
GT: scissors
scissor Detection preview by Box_v11_medium_train_SIXray_OPIXray No objects detected Detection preview by DN_Medium_300_yolov8m_20t7_new scissor Detection preview by Segmentatation_v8_medium_train_250 scissor Detection preview by Segmentation_V11_large_300_train_300 scissor Detection preview by Segmentation_v8_large_300_train_300
Original Image: P03763.jpg
GT: scissors
scissor Detection preview by Box_v11_medium_train_SIXray_OPIXray No objects detected Detection preview by DN_Medium_300_yolov8m_20t7_new scissor Detection preview by Segmentatation_v8_medium_train_250 scissor Detection preview by Segmentation_V11_large_300_train_300 scissor Detection preview by Segmentation_v8_large_300_train_300
Original Image: P03764.jpg
GT: pliers
pliers Detection preview by Box_v11_medium_train_SIXray_OPIXray No objects detected Detection preview by DN_Medium_300_yolov8m_20t7_new No objects detected Detection preview by Segmentatation_v8_medium_train_250 No objects detected Detection preview by Segmentation_V11_large_300_train_300 No objects detected Detection preview by Segmentation_v8_large_300_train_300
Original Image: P03765.jpg
GT: pliers
pliers Detection preview by Box_v11_medium_train_SIXray_OPIXray No objects detected Detection preview by DN_Medium_300_yolov8m_20t7_new No objects detected Detection preview by Segmentatation_v8_medium_train_250 No objects detected Detection preview by Segmentation_V11_large_300_train_300 No objects detected Detection preview by Segmentation_v8_large_300_train_300
Original Image: P03766.jpg
GT: pliers
pliers Detection preview by Box_v11_medium_train_SIXray_OPIXray No objects detected Detection preview by DN_Medium_300_yolov8m_20t7_new No objects detected Detection preview by Segmentatation_v8_medium_train_250 No objects detected Detection preview by Segmentation_V11_large_300_train_300 No objects detected Detection preview by Segmentation_v8_large_300_train_300
Original Image: P03767.jpg
GT: pliers
pliers Detection preview by Box_v11_medium_train_SIXray_OPIXray No objects detected Detection preview by DN_Medium_300_yolov8m_20t7_new No objects detected Detection preview by Segmentatation_v8_medium_train_250 No objects detected Detection preview by Segmentation_V11_large_300_train_300 No objects detected Detection preview by Segmentation_v8_large_300_train_300
Original Image: P03768.jpg
GT: pliers
pliers Detection preview by Box_v11_medium_train_SIXray_OPIXray No objects detected Detection preview by DN_Medium_300_yolov8m_20t7_new No objects detected Detection preview by Segmentatation_v8_medium_train_250 No objects detected Detection preview by Segmentation_V11_large_300_train_300 No objects detected Detection preview by Segmentation_v8_large_300_train_300
Original Image: P03769.jpg
GT: pliers
pliers Detection preview by Box_v11_medium_train_SIXray_OPIXray No objects detected Detection preview by DN_Medium_300_yolov8m_20t7_new No objects detected Detection preview by Segmentatation_v8_medium_train_250 No objects detected Detection preview by Segmentation_V11_large_300_train_300 No objects detected Detection preview by Segmentation_v8_large_300_train_300
Original Image: P03770.jpg
GT: pliers
pliers Detection preview by Box_v11_medium_train_SIXray_OPIXray pliers Detection preview by DN_Medium_300_yolov8m_20t7_new No objects detected Detection preview by Segmentatation_v8_medium_train_250 No objects detected Detection preview by Segmentation_V11_large_300_train_300 No objects detected Detection preview by Segmentation_v8_large_300_train_300
Original Image: P03771.jpg
GT: knife
knife Detection preview by Box_v11_medium_train_SIXray_OPIXray No objects detected Detection preview by DN_Medium_300_yolov8m_20t7_new No objects detected Detection preview by Segmentatation_v8_medium_train_250 No objects detected Detection preview by Segmentation_V11_large_300_train_300 No objects detected Detection preview by Segmentation_v8_large_300_train_300
Original Image: P03772.jpg
GT: pliers, wrench
pliers, wrench Detection preview by Box_v11_medium_train_SIXray_OPIXray No objects detected Detection preview by DN_Medium_300_yolov8m_20t7_new wrench Detection preview by Segmentatation_v8_medium_train_250 wrench Detection preview by Segmentation_V11_large_300_train_300 wrench Detection preview by Segmentation_v8_large_300_train_300
Original Image: P03773.jpg
GT: pliers, wrench
pliers, wrench Detection preview by Box_v11_medium_train_SIXray_OPIXray No objects detected Detection preview by DN_Medium_300_yolov8m_20t7_new wrench Detection preview by Segmentatation_v8_medium_train_250 wrench Detection preview by Segmentation_V11_large_300_train_300 wrench Detection preview by Segmentation_v8_large_300_train_300
Original Image: P03774.jpg
GT: pliers
pliers Detection preview by Box_v11_medium_train_SIXray_OPIXray No objects detected Detection preview by DN_Medium_300_yolov8m_20t7_new No objects detected Detection preview by Segmentatation_v8_medium_train_250 No objects detected Detection preview by Segmentation_V11_large_300_train_300 No objects detected Detection preview by Segmentation_v8_large_300_train_300
Original Image: P03775.jpg
GT: pliers
pliers Detection preview by Box_v11_medium_train_SIXray_OPIXray No objects detected Detection preview by DN_Medium_300_yolov8m_20t7_new No objects detected Detection preview by Segmentatation_v8_medium_train_250 No objects detected Detection preview by Segmentation_V11_large_300_train_300 No objects detected Detection preview by Segmentation_v8_large_300_train_300
Original Image: P03776.jpg
GT: pliers
pliers Detection preview by Box_v11_medium_train_SIXray_OPIXray No objects detected Detection preview by DN_Medium_300_yolov8m_20t7_new No objects detected Detection preview by Segmentatation_v8_medium_train_250 No objects detected Detection preview by Segmentation_V11_large_300_train_300 No objects detected Detection preview by Segmentation_v8_large_300_train_300
Original Image: P03777.jpg
GT: scissors
scissor Detection preview by Box_v11_medium_train_SIXray_OPIXray No objects detected Detection preview by DN_Medium_300_yolov8m_20t7_new scissor Detection preview by Segmentatation_v8_medium_train_250 scissor Detection preview by Segmentation_V11_large_300_train_300 scissor Detection preview by Segmentation_v8_large_300_train_300
Original Image: P03778.jpg
GT: scissors
scissor Detection preview by Box_v11_medium_train_SIXray_OPIXray No objects detected Detection preview by DN_Medium_300_yolov8m_20t7_new scissor Detection preview by Segmentatation_v8_medium_train_250 scissor Detection preview by Segmentation_V11_large_300_train_300 scissor Detection preview by Segmentation_v8_large_300_train_300
Original Image: P03779.jpg
GT: pliers, wrench
wrench Detection preview by Box_v11_medium_train_SIXray_OPIXray No objects detected Detection preview by DN_Medium_300_yolov8m_20t7_new wrench Detection preview by Segmentatation_v8_medium_train_250 wrench Detection preview by Segmentation_V11_large_300_train_300 wrench Detection preview by Segmentation_v8_large_300_train_300
Original Image: P03780.jpg
GT: pliers
pliers Detection preview by Box_v11_medium_train_SIXray_OPIXray No objects detected Detection preview by DN_Medium_300_yolov8m_20t7_new No objects detected Detection preview by Segmentatation_v8_medium_train_250 No objects detected Detection preview by Segmentation_V11_large_300_train_300 No objects detected Detection preview by Segmentation_v8_large_300_train_300
Original Image: P03781.jpg
GT: pliers
pliers Detection preview by Box_v11_medium_train_SIXray_OPIXray No objects detected Detection preview by DN_Medium_300_yolov8m_20t7_new No objects detected Detection preview by Segmentatation_v8_medium_train_250 No objects detected Detection preview by Segmentation_V11_large_300_train_300 No objects detected Detection preview by Segmentation_v8_large_300_train_300
Original Image: P03782.jpg
GT: pliers
pliers Detection preview by Box_v11_medium_train_SIXray_OPIXray No objects detected Detection preview by DN_Medium_300_yolov8m_20t7_new No objects detected Detection preview by Segmentatation_v8_medium_train_250 No objects detected Detection preview by Segmentation_V11_large_300_train_300 No objects detected Detection preview by Segmentation_v8_large_300_train_300
Original Image: P03783.jpg
GT: scissors
scissor Detection preview by Box_v11_medium_train_SIXray_OPIXray No objects detected Detection preview by DN_Medium_300_yolov8m_20t7_new scissor Detection preview by Segmentatation_v8_medium_train_250 scissor Detection preview by Segmentation_V11_large_300_train_300 scissor Detection preview by Segmentation_v8_large_300_train_300
Original Image: P03784.jpg
GT: wrench
wrench Detection preview by Box_v11_medium_train_SIXray_OPIXray No objects detected Detection preview by DN_Medium_300_yolov8m_20t7_new wrench Detection preview by Segmentatation_v8_medium_train_250 wrench Detection preview by Segmentation_V11_large_300_train_300 wrench Detection preview by Segmentation_v8_large_300_train_300
Original Image: P03785.jpg
GT: wrench
wrench Detection preview by Box_v11_medium_train_SIXray_OPIXray No objects detected Detection preview by DN_Medium_300_yolov8m_20t7_new wrench Detection preview by Segmentatation_v8_medium_train_250 wrench Detection preview by Segmentation_V11_large_300_train_300 wrench Detection preview by Segmentation_v8_large_300_train_300
Original Image: P03786.jpg
GT: pliers
pliers Detection preview by Box_v11_medium_train_SIXray_OPIXray No objects detected Detection preview by DN_Medium_300_yolov8m_20t7_new No objects detected Detection preview by Segmentatation_v8_medium_train_250 No objects detected Detection preview by Segmentation_V11_large_300_train_300 No objects detected Detection preview by Segmentation_v8_large_300_train_300
Original Image: P03787.jpg
GT: pliers
pliers Detection preview by Box_v11_medium_train_SIXray_OPIXray No objects detected Detection preview by DN_Medium_300_yolov8m_20t7_new No objects detected Detection preview by Segmentatation_v8_medium_train_250 No objects detected Detection preview by Segmentation_V11_large_300_train_300 No objects detected Detection preview by Segmentation_v8_large_300_train_300
Original Image: P03788.jpg
GT: pliers
pliers Detection preview by Box_v11_medium_train_SIXray_OPIXray No objects detected Detection preview by DN_Medium_300_yolov8m_20t7_new No objects detected Detection preview by Segmentatation_v8_medium_train_250 No objects detected Detection preview by Segmentation_V11_large_300_train_300 No objects detected Detection preview by Segmentation_v8_large_300_train_300
Original Image: P03789.jpg
GT: wrench
wrench Detection preview by Box_v11_medium_train_SIXray_OPIXray No objects detected Detection preview by DN_Medium_300_yolov8m_20t7_new wrench Detection preview by Segmentatation_v8_medium_train_250 wrench Detection preview by Segmentation_V11_large_300_train_300 wrench Detection preview by Segmentation_v8_large_300_train_300
Original Image: P03790.jpg
GT: scissors
scissor Detection preview by Box_v11_medium_train_SIXray_OPIXray No objects detected Detection preview by DN_Medium_300_yolov8m_20t7_new scissor Detection preview by Segmentatation_v8_medium_train_250 scissor Detection preview by Segmentation_V11_large_300_train_300 scissor Detection preview by Segmentation_v8_large_300_train_300
Original Image: P03791.jpg
GT: scissors
scissor Detection preview by Box_v11_medium_train_SIXray_OPIXray No objects detected Detection preview by DN_Medium_300_yolov8m_20t7_new scissor Detection preview by Segmentatation_v8_medium_train_250 scissor Detection preview by Segmentation_V11_large_300_train_300 scissor Detection preview by Segmentation_v8_large_300_train_300
Original Image: P03792.jpg
GT: scissors
scissor Detection preview by Box_v11_medium_train_SIXray_OPIXray scissor Detection preview by DN_Medium_300_yolov8m_20t7_new scissor Detection preview by Segmentatation_v8_medium_train_250 scissor Detection preview by Segmentation_V11_large_300_train_300 scissor Detection preview by Segmentation_v8_large_300_train_300
Original Image: P03793.jpg
GT: pliers
pliers Detection preview by Box_v11_medium_train_SIXray_OPIXray pliers Detection preview by DN_Medium_300_yolov8m_20t7_new No objects detected Detection preview by Segmentatation_v8_medium_train_250 No objects detected Detection preview by Segmentation_V11_large_300_train_300 No objects detected Detection preview by Segmentation_v8_large_300_train_300
Original Image: P03794.jpg
GT: pliers
pliers Detection preview by Box_v11_medium_train_SIXray_OPIXray No objects detected Detection preview by DN_Medium_300_yolov8m_20t7_new No objects detected Detection preview by Segmentatation_v8_medium_train_250 No objects detected Detection preview by Segmentation_V11_large_300_train_300 No objects detected Detection preview by Segmentation_v8_large_300_train_300
Original Image: P03795.jpg
GT: pliers
pliers Detection preview by Box_v11_medium_train_SIXray_OPIXray No objects detected Detection preview by DN_Medium_300_yolov8m_20t7_new No objects detected Detection preview by Segmentatation_v8_medium_train_250 No objects detected Detection preview by Segmentation_V11_large_300_train_300 No objects detected Detection preview by Segmentation_v8_large_300_train_300
Original Image: P03796.jpg
GT: pliers
pliers Detection preview by Box_v11_medium_train_SIXray_OPIXray No objects detected Detection preview by DN_Medium_300_yolov8m_20t7_new No objects detected Detection preview by Segmentatation_v8_medium_train_250 No objects detected Detection preview by Segmentation_V11_large_300_train_300 No objects detected Detection preview by Segmentation_v8_large_300_train_300
Original Image: P03797.jpg
GT: pliers
pliers Detection preview by Box_v11_medium_train_SIXray_OPIXray No objects detected Detection preview by DN_Medium_300_yolov8m_20t7_new No objects detected Detection preview by Segmentatation_v8_medium_train_250 No objects detected Detection preview by Segmentation_V11_large_300_train_300 No objects detected Detection preview by Segmentation_v8_large_300_train_300
Original Image: P03798.jpg
GT: pliers
pliers Detection preview by Box_v11_medium_train_SIXray_OPIXray No objects detected Detection preview by DN_Medium_300_yolov8m_20t7_new No objects detected Detection preview by Segmentatation_v8_medium_train_250 No objects detected Detection preview by Segmentation_V11_large_300_train_300 No objects detected Detection preview by Segmentation_v8_large_300_train_300
Original Image: P03799.jpg
GT: pliers
pliers Detection preview by Box_v11_medium_train_SIXray_OPIXray No objects detected Detection preview by DN_Medium_300_yolov8m_20t7_new No objects detected Detection preview by Segmentatation_v8_medium_train_250 No objects detected Detection preview by Segmentation_V11_large_300_train_300 No objects detected Detection preview by Segmentation_v8_large_300_train_300
Original Image: P03800.jpg
GT: pliers
pliers Detection preview by Box_v11_medium_train_SIXray_OPIXray pliers Detection preview by DN_Medium_300_yolov8m_20t7_new No objects detected Detection preview by Segmentatation_v8_medium_train_250 No objects detected Detection preview by Segmentation_V11_large_300_train_300 No objects detected Detection preview by Segmentation_v8_large_300_train_300
Original Image: P03801.jpg
GT: pliers
pliers Detection preview by Box_v11_medium_train_SIXray_OPIXray pliers Detection preview by DN_Medium_300_yolov8m_20t7_new No objects detected Detection preview by Segmentatation_v8_medium_train_250 No objects detected Detection preview by Segmentation_V11_large_300_train_300 No objects detected Detection preview by Segmentation_v8_large_300_train_300
Original Image: P03802.jpg
GT: pliers
pliers Detection preview by Box_v11_medium_train_SIXray_OPIXray No objects detected Detection preview by DN_Medium_300_yolov8m_20t7_new No objects detected Detection preview by Segmentatation_v8_medium_train_250 No objects detected Detection preview by Segmentation_V11_large_300_train_300 No objects detected Detection preview by Segmentation_v8_large_300_train_300
Original Image: P03803.jpg
GT: pliers
pliers Detection preview by Box_v11_medium_train_SIXray_OPIXray No objects detected Detection preview by DN_Medium_300_yolov8m_20t7_new No objects detected Detection preview by Segmentatation_v8_medium_train_250 No objects detected Detection preview by Segmentation_V11_large_300_train_300 No objects detected Detection preview by Segmentation_v8_large_300_train_300
Original Image: P03804.jpg
GT: pliers
pliers Detection preview by Box_v11_medium_train_SIXray_OPIXray No objects detected Detection preview by DN_Medium_300_yolov8m_20t7_new No objects detected Detection preview by Segmentatation_v8_medium_train_250 No objects detected Detection preview by Segmentation_V11_large_300_train_300 No objects detected Detection preview by Segmentation_v8_large_300_train_300
Original Image: P03805.jpg
GT: pliers
pliers Detection preview by Box_v11_medium_train_SIXray_OPIXray No objects detected Detection preview by DN_Medium_300_yolov8m_20t7_new No objects detected Detection preview by Segmentatation_v8_medium_train_250 No objects detected Detection preview by Segmentation_V11_large_300_train_300 No objects detected Detection preview by Segmentation_v8_large_300_train_300
Original Image: P03806.jpg
GT: pliers
pliers Detection preview by Box_v11_medium_train_SIXray_OPIXray No objects detected Detection preview by DN_Medium_300_yolov8m_20t7_new No objects detected Detection preview by Segmentatation_v8_medium_train_250 No objects detected Detection preview by Segmentation_V11_large_300_train_300 No objects detected Detection preview by Segmentation_v8_large_300_train_300
Original Image: P03807.jpg
GT: wrench
wrench Detection preview by Box_v11_medium_train_SIXray_OPIXray No objects detected Detection preview by DN_Medium_300_yolov8m_20t7_new wrench Detection preview by Segmentatation_v8_medium_train_250 wrench Detection preview by Segmentation_V11_large_300_train_300 wrench Detection preview by Segmentation_v8_large_300_train_300
Original Image: P03808.jpg
GT: pliers
pliers Detection preview by Box_v11_medium_train_SIXray_OPIXray No objects detected Detection preview by DN_Medium_300_yolov8m_20t7_new No objects detected Detection preview by Segmentatation_v8_medium_train_250 No objects detected Detection preview by Segmentation_V11_large_300_train_300 No objects detected Detection preview by Segmentation_v8_large_300_train_300
Original Image: P03809.jpg
GT: pliers
pliers Detection preview by Box_v11_medium_train_SIXray_OPIXray No objects detected Detection preview by DN_Medium_300_yolov8m_20t7_new No objects detected Detection preview by Segmentatation_v8_medium_train_250 No objects detected Detection preview by Segmentation_V11_large_300_train_300 No objects detected Detection preview by Segmentation_v8_large_300_train_300
Original Image: P03810.jpg
GT: pliers, wrench
pliers, wrench Detection preview by Box_v11_medium_train_SIXray_OPIXray No objects detected Detection preview by DN_Medium_300_yolov8m_20t7_new wrench Detection preview by Segmentatation_v8_medium_train_250 wrench Detection preview by Segmentation_V11_large_300_train_300 wrench Detection preview by Segmentation_v8_large_300_train_300
Original Image: P03811.jpg
GT: pliers, wrench
pliers, wrench Detection preview by Box_v11_medium_train_SIXray_OPIXray pliers Detection preview by DN_Medium_300_yolov8m_20t7_new wrench Detection preview by Segmentatation_v8_medium_train_250 wrench Detection preview by Segmentation_V11_large_300_train_300 wrench Detection preview by Segmentation_v8_large_300_train_300
Original Image: P03812.jpg
GT: pliers, wrench
pliers, wrench Detection preview by Box_v11_medium_train_SIXray_OPIXray pliers Detection preview by DN_Medium_300_yolov8m_20t7_new wrench Detection preview by Segmentatation_v8_medium_train_250 wrench Detection preview by Segmentation_V11_large_300_train_300 wrench Detection preview by Segmentation_v8_large_300_train_300
Original Image: P03813.jpg
GT: scissors
scissor Detection preview by Box_v11_medium_train_SIXray_OPIXray No objects detected Detection preview by DN_Medium_300_yolov8m_20t7_new scissor Detection preview by Segmentatation_v8_medium_train_250 scissor Detection preview by Segmentation_V11_large_300_train_300 scissor Detection preview by Segmentation_v8_large_300_train_300
Original Image: P03814.jpg
GT: pliers
pliers Detection preview by Box_v11_medium_train_SIXray_OPIXray No objects detected Detection preview by DN_Medium_300_yolov8m_20t7_new No objects detected Detection preview by Segmentatation_v8_medium_train_250 No objects detected Detection preview by Segmentation_V11_large_300_train_300 No objects detected Detection preview by Segmentation_v8_large_300_train_300
Original Image: P03815.jpg
GT: pliers
pliers Detection preview by Box_v11_medium_train_SIXray_OPIXray No objects detected Detection preview by DN_Medium_300_yolov8m_20t7_new No objects detected Detection preview by Segmentatation_v8_medium_train_250 No objects detected Detection preview by Segmentation_V11_large_300_train_300 No objects detected Detection preview by Segmentation_v8_large_300_train_300
Original Image: P03816.jpg
GT: pliers
pliers Detection preview by Box_v11_medium_train_SIXray_OPIXray No objects detected Detection preview by DN_Medium_300_yolov8m_20t7_new No objects detected Detection preview by Segmentatation_v8_medium_train_250 No objects detected Detection preview by Segmentation_V11_large_300_train_300 No objects detected Detection preview by Segmentation_v8_large_300_train_300
Original Image: P03817.jpg
GT: pliers
pliers Detection preview by Box_v11_medium_train_SIXray_OPIXray No objects detected Detection preview by DN_Medium_300_yolov8m_20t7_new No objects detected Detection preview by Segmentatation_v8_medium_train_250 No objects detected Detection preview by Segmentation_V11_large_300_train_300 No objects detected Detection preview by Segmentation_v8_large_300_train_300
Original Image: P03818.jpg
GT: pliers
pliers Detection preview by Box_v11_medium_train_SIXray_OPIXray No objects detected Detection preview by DN_Medium_300_yolov8m_20t7_new No objects detected Detection preview by Segmentatation_v8_medium_train_250 No objects detected Detection preview by Segmentation_V11_large_300_train_300 No objects detected Detection preview by Segmentation_v8_large_300_train_300
Original Image: P03819.jpg
GT: pliers, wrench
pliers, wrench Detection preview by Box_v11_medium_train_SIXray_OPIXray No objects detected Detection preview by DN_Medium_300_yolov8m_20t7_new wrench Detection preview by Segmentatation_v8_medium_train_250 wrench Detection preview by Segmentation_V11_large_300_train_300 wrench Detection preview by Segmentation_v8_large_300_train_300
Original Image: P03820.jpg
GT: wrench
wrench Detection preview by Box_v11_medium_train_SIXray_OPIXray No objects detected Detection preview by DN_Medium_300_yolov8m_20t7_new wrench Detection preview by Segmentatation_v8_medium_train_250 wrench Detection preview by Segmentation_V11_large_300_train_300 wrench Detection preview by Segmentation_v8_large_300_train_300
Original Image: P03821.jpg
GT: wrench
wrench Detection preview by Box_v11_medium_train_SIXray_OPIXray No objects detected Detection preview by DN_Medium_300_yolov8m_20t7_new wrench Detection preview by Segmentatation_v8_medium_train_250 wrench Detection preview by Segmentation_V11_large_300_train_300 wrench Detection preview by Segmentation_v8_large_300_train_300
Original Image: P03822.jpg
GT: knife
knife Detection preview by Box_v11_medium_train_SIXray_OPIXray No objects detected Detection preview by DN_Medium_300_yolov8m_20t7_new scissor Detection preview by Segmentatation_v8_medium_train_250 scissor Detection preview by Segmentation_V11_large_300_train_300 scissor Detection preview by Segmentation_v8_large_300_train_300
Original Image: P03823.jpg
GT: scissors
scissor Detection preview by Box_v11_medium_train_SIXray_OPIXray No objects detected Detection preview by DN_Medium_300_yolov8m_20t7_new scissor Detection preview by Segmentatation_v8_medium_train_250 scissor Detection preview by Segmentation_V11_large_300_train_300 scissor Detection preview by Segmentation_v8_large_300_train_300
Original Image: P03824.jpg
GT: scissors
scissor Detection preview by Box_v11_medium_train_SIXray_OPIXray No objects detected Detection preview by DN_Medium_300_yolov8m_20t7_new scissor Detection preview by Segmentatation_v8_medium_train_250 scissor Detection preview by Segmentation_V11_large_300_train_300 scissor Detection preview by Segmentation_v8_large_300_train_300
Original Image: P03825.jpg
GT: scissors
scissor Detection preview by Box_v11_medium_train_SIXray_OPIXray No objects detected Detection preview by DN_Medium_300_yolov8m_20t7_new scissor Detection preview by Segmentatation_v8_medium_train_250 scissor Detection preview by Segmentation_V11_large_300_train_300 scissor Detection preview by Segmentation_v8_large_300_train_300
Original Image: P03826.jpg
GT: scissors
scissor Detection preview by Box_v11_medium_train_SIXray_OPIXray No objects detected Detection preview by DN_Medium_300_yolov8m_20t7_new scissor Detection preview by Segmentatation_v8_medium_train_250 scissor Detection preview by Segmentation_V11_large_300_train_300 scissor Detection preview by Segmentation_v8_large_300_train_300
Original Image: P03827.jpg
GT: pliers
pliers Detection preview by Box_v11_medium_train_SIXray_OPIXray No objects detected Detection preview by DN_Medium_300_yolov8m_20t7_new No objects detected Detection preview by Segmentatation_v8_medium_train_250 No objects detected Detection preview by Segmentation_V11_large_300_train_300 No objects detected Detection preview by Segmentation_v8_large_300_train_300
Original Image: P03828.jpg
GT: pliers, wrench
pliers, wrench Detection preview by Box_v11_medium_train_SIXray_OPIXray No objects detected Detection preview by DN_Medium_300_yolov8m_20t7_new wrench Detection preview by Segmentatation_v8_medium_train_250 wrench Detection preview by Segmentation_V11_large_300_train_300 wrench Detection preview by Segmentation_v8_large_300_train_300
Original Image: P03829.jpg
GT: wrench
wrench Detection preview by Box_v11_medium_train_SIXray_OPIXray No objects detected Detection preview by DN_Medium_300_yolov8m_20t7_new wrench Detection preview by Segmentatation_v8_medium_train_250 wrench Detection preview by Segmentation_V11_large_300_train_300 wrench Detection preview by Segmentation_v8_large_300_train_300
Original Image: P03830.jpg
GT: wrench
wrench Detection preview by Box_v11_medium_train_SIXray_OPIXray No objects detected Detection preview by DN_Medium_300_yolov8m_20t7_new wrench Detection preview by Segmentatation_v8_medium_train_250 wrench Detection preview by Segmentation_V11_large_300_train_300 wrench Detection preview by Segmentation_v8_large_300_train_300
Original Image: P03831.jpg
GT: scissors
scissor Detection preview by Box_v11_medium_train_SIXray_OPIXray No objects detected Detection preview by DN_Medium_300_yolov8m_20t7_new scissor Detection preview by Segmentatation_v8_medium_train_250 scissor Detection preview by Segmentation_V11_large_300_train_300 scissor Detection preview by Segmentation_v8_large_300_train_300
Original Image: P03832.jpg
GT: scissors
scissor Detection preview by Box_v11_medium_train_SIXray_OPIXray scissor Detection preview by DN_Medium_300_yolov8m_20t7_new scissor Detection preview by Segmentatation_v8_medium_train_250 scissor Detection preview by Segmentation_V11_large_300_train_300 scissor Detection preview by Segmentation_v8_large_300_train_300
Original Image: P03833.jpg
GT: pliers
pliers Detection preview by Box_v11_medium_train_SIXray_OPIXray No objects detected Detection preview by DN_Medium_300_yolov8m_20t7_new No objects detected Detection preview by Segmentatation_v8_medium_train_250 No objects detected Detection preview by Segmentation_V11_large_300_train_300 No objects detected Detection preview by Segmentation_v8_large_300_train_300
Original Image: P03834.jpg
GT: pliers
pliers Detection preview by Box_v11_medium_train_SIXray_OPIXray No objects detected Detection preview by DN_Medium_300_yolov8m_20t7_new No objects detected Detection preview by Segmentatation_v8_medium_train_250 No objects detected Detection preview by Segmentation_V11_large_300_train_300 No objects detected Detection preview by Segmentation_v8_large_300_train_300
Original Image: P03835.jpg
GT: pliers, wrench
pliers, wrench Detection preview by Box_v11_medium_train_SIXray_OPIXray No objects detected Detection preview by DN_Medium_300_yolov8m_20t7_new wrench Detection preview by Segmentatation_v8_medium_train_250 wrench Detection preview by Segmentation_V11_large_300_train_300 wrench Detection preview by Segmentation_v8_large_300_train_300
Original Image: P03836.jpg
GT: pliers, wrench
pliers, wrench Detection preview by Box_v11_medium_train_SIXray_OPIXray No objects detected Detection preview by DN_Medium_300_yolov8m_20t7_new wrench Detection preview by Segmentatation_v8_medium_train_250 wrench Detection preview by Segmentation_V11_large_300_train_300 wrench Detection preview by Segmentation_v8_large_300_train_300
Original Image: P03837.jpg
GT: pliers, wrench
pliers, wrench Detection preview by Box_v11_medium_train_SIXray_OPIXray No objects detected Detection preview by DN_Medium_300_yolov8m_20t7_new wrench Detection preview by Segmentatation_v8_medium_train_250 wrench Detection preview by Segmentation_V11_large_300_train_300 wrench Detection preview by Segmentation_v8_large_300_train_300
Original Image: P03838.jpg
GT: pliers, wrench
pliers, wrench Detection preview by Box_v11_medium_train_SIXray_OPIXray No objects detected Detection preview by DN_Medium_300_yolov8m_20t7_new wrench Detection preview by Segmentatation_v8_medium_train_250 wrench Detection preview by Segmentation_V11_large_300_train_300 wrench Detection preview by Segmentation_v8_large_300_train_300
Original Image: P03839.jpg
GT: pliers, wrench
pliers, wrench Detection preview by Box_v11_medium_train_SIXray_OPIXray pliers Detection preview by DN_Medium_300_yolov8m_20t7_new wrench Detection preview by Segmentatation_v8_medium_train_250 wrench Detection preview by Segmentation_V11_large_300_train_300 wrench Detection preview by Segmentation_v8_large_300_train_300
Original Image: P03840.jpg
GT: pliers
pliers Detection preview by Box_v11_medium_train_SIXray_OPIXray No objects detected Detection preview by DN_Medium_300_yolov8m_20t7_new No objects detected Detection preview by Segmentatation_v8_medium_train_250 No objects detected Detection preview by Segmentation_V11_large_300_train_300 No objects detected Detection preview by Segmentation_v8_large_300_train_300
Original Image: P03841.jpg
GT: pliers
pliers Detection preview by Box_v11_medium_train_SIXray_OPIXray No objects detected Detection preview by DN_Medium_300_yolov8m_20t7_new No objects detected Detection preview by Segmentatation_v8_medium_train_250 No objects detected Detection preview by Segmentation_V11_large_300_train_300 No objects detected Detection preview by Segmentation_v8_large_300_train_300
Original Image: P03842.jpg
GT: pliers
pliers Detection preview by Box_v11_medium_train_SIXray_OPIXray No objects detected Detection preview by DN_Medium_300_yolov8m_20t7_new No objects detected Detection preview by Segmentatation_v8_medium_train_250 No objects detected Detection preview by Segmentation_V11_large_300_train_300 No objects detected Detection preview by Segmentation_v8_large_300_train_300
Original Image: P03843.jpg
GT: scissors
scissor Detection preview by Box_v11_medium_train_SIXray_OPIXray No objects detected Detection preview by DN_Medium_300_yolov8m_20t7_new scissor Detection preview by Segmentatation_v8_medium_train_250 scissor Detection preview by Segmentation_V11_large_300_train_300 scissor Detection preview by Segmentation_v8_large_300_train_300
Original Image: P03844.jpg
GT: pliers
pliers Detection preview by Box_v11_medium_train_SIXray_OPIXray No objects detected Detection preview by DN_Medium_300_yolov8m_20t7_new scissor Detection preview by Segmentatation_v8_medium_train_250 scissor Detection preview by Segmentation_V11_large_300_train_300 scissor Detection preview by Segmentation_v8_large_300_train_300
Original Image: P03845.jpg
GT: scissors
scissor Detection preview by Box_v11_medium_train_SIXray_OPIXray No objects detected Detection preview by DN_Medium_300_yolov8m_20t7_new scissor Detection preview by Segmentatation_v8_medium_train_250 scissor Detection preview by Segmentation_V11_large_300_train_300 scissor Detection preview by Segmentation_v8_large_300_train_300
Original Image: P03846.jpg
GT: scissors
scissor Detection preview by Box_v11_medium_train_SIXray_OPIXray No objects detected Detection preview by DN_Medium_300_yolov8m_20t7_new scissor Detection preview by Segmentatation_v8_medium_train_250 scissor Detection preview by Segmentation_V11_large_300_train_300 scissor Detection preview by Segmentation_v8_large_300_train_300
Original Image: P03847.jpg
GT: wrench
wrench Detection preview by Box_v11_medium_train_SIXray_OPIXray No objects detected Detection preview by DN_Medium_300_yolov8m_20t7_new wrench Detection preview by Segmentatation_v8_medium_train_250 wrench Detection preview by Segmentation_V11_large_300_train_300 wrench Detection preview by Segmentation_v8_large_300_train_300
Original Image: P03848.jpg
GT: wrench
wrench Detection preview by Box_v11_medium_train_SIXray_OPIXray No objects detected Detection preview by DN_Medium_300_yolov8m_20t7_new wrench Detection preview by Segmentatation_v8_medium_train_250 wrench Detection preview by Segmentation_V11_large_300_train_300 wrench Detection preview by Segmentation_v8_large_300_train_300
Original Image: P03849.jpg
GT: wrench
wrench Detection preview by Box_v11_medium_train_SIXray_OPIXray No objects detected Detection preview by DN_Medium_300_yolov8m_20t7_new wrench Detection preview by Segmentatation_v8_medium_train_250 wrench Detection preview by Segmentation_V11_large_300_train_300 wrench Detection preview by Segmentation_v8_large_300_train_300
Original Image: P03850.jpg
GT: wrench
wrench Detection preview by Box_v11_medium_train_SIXray_OPIXray No objects detected Detection preview by DN_Medium_300_yolov8m_20t7_new wrench Detection preview by Segmentatation_v8_medium_train_250 wrench Detection preview by Segmentation_V11_large_300_train_300 wrench Detection preview by Segmentation_v8_large_300_train_300
Original Image: P03851.jpg
GT: pliers
pliers Detection preview by Box_v11_medium_train_SIXray_OPIXray No objects detected Detection preview by DN_Medium_300_yolov8m_20t7_new No objects detected Detection preview by Segmentatation_v8_medium_train_250 No objects detected Detection preview by Segmentation_V11_large_300_train_300 No objects detected Detection preview by Segmentation_v8_large_300_train_300
Original Image: P03852.jpg
GT: pliers
pliers Detection preview by Box_v11_medium_train_SIXray_OPIXray No objects detected Detection preview by DN_Medium_300_yolov8m_20t7_new No objects detected Detection preview by Segmentatation_v8_medium_train_250 No objects detected Detection preview by Segmentation_V11_large_300_train_300 No objects detected Detection preview by Segmentation_v8_large_300_train_300
Original Image: P03853.jpg
GT: pliers
pliers Detection preview by Box_v11_medium_train_SIXray_OPIXray No objects detected Detection preview by DN_Medium_300_yolov8m_20t7_new No objects detected Detection preview by Segmentatation_v8_medium_train_250 No objects detected Detection preview by Segmentation_V11_large_300_train_300 No objects detected Detection preview by Segmentation_v8_large_300_train_300
Original Image: P03854.jpg
GT: pliers
pliers Detection preview by Box_v11_medium_train_SIXray_OPIXray No objects detected Detection preview by DN_Medium_300_yolov8m_20t7_new No objects detected Detection preview by Segmentatation_v8_medium_train_250 No objects detected Detection preview by Segmentation_V11_large_300_train_300 No objects detected Detection preview by Segmentation_v8_large_300_train_300
Original Image: P03855.jpg
GT: pliers, wrench
pliers, wrench Detection preview by Box_v11_medium_train_SIXray_OPIXray No objects detected Detection preview by DN_Medium_300_yolov8m_20t7_new wrench Detection preview by Segmentatation_v8_medium_train_250 wrench Detection preview by Segmentation_V11_large_300_train_300 wrench Detection preview by Segmentation_v8_large_300_train_300
Original Image: P03856.jpg
GT: knife
knife Detection preview by Box_v11_medium_train_SIXray_OPIXray No objects detected Detection preview by DN_Medium_300_yolov8m_20t7_new scissor Detection preview by Segmentatation_v8_medium_train_250 No objects detected Detection preview by Segmentation_V11_large_300_train_300 knife Detection preview by Segmentation_v8_large_300_train_300
Original Image: P03857.jpg
GT: pliers
pliers Detection preview by Box_v11_medium_train_SIXray_OPIXray No objects detected Detection preview by DN_Medium_300_yolov8m_20t7_new No objects detected Detection preview by Segmentatation_v8_medium_train_250 No objects detected Detection preview by Segmentation_V11_large_300_train_300 No objects detected Detection preview by Segmentation_v8_large_300_train_300
Original Image: P03858.jpg
GT: pliers
pliers Detection preview by Box_v11_medium_train_SIXray_OPIXray No objects detected Detection preview by DN_Medium_300_yolov8m_20t7_new No objects detected Detection preview by Segmentatation_v8_medium_train_250 No objects detected Detection preview by Segmentation_V11_large_300_train_300 No objects detected Detection preview by Segmentation_v8_large_300_train_300
Original Image: P03859.jpg
GT: pliers
pliers Detection preview by Box_v11_medium_train_SIXray_OPIXray No objects detected Detection preview by DN_Medium_300_yolov8m_20t7_new No objects detected Detection preview by Segmentatation_v8_medium_train_250 No objects detected Detection preview by Segmentation_V11_large_300_train_300 No objects detected Detection preview by Segmentation_v8_large_300_train_300
Original Image: P03860.jpg
GT: pliers
pliers Detection preview by Box_v11_medium_train_SIXray_OPIXray No objects detected Detection preview by DN_Medium_300_yolov8m_20t7_new No objects detected Detection preview by Segmentatation_v8_medium_train_250 No objects detected Detection preview by Segmentation_V11_large_300_train_300 No objects detected Detection preview by Segmentation_v8_large_300_train_300
Original Image: P03861.jpg
GT: pliers
pliers Detection preview by Box_v11_medium_train_SIXray_OPIXray pliers Detection preview by DN_Medium_300_yolov8m_20t7_new No objects detected Detection preview by Segmentatation_v8_medium_train_250 No objects detected Detection preview by Segmentation_V11_large_300_train_300 No objects detected Detection preview by Segmentation_v8_large_300_train_300
Original Image: P03862.jpg
GT: pliers
pliers Detection preview by Box_v11_medium_train_SIXray_OPIXray pliers Detection preview by DN_Medium_300_yolov8m_20t7_new No objects detected Detection preview by Segmentatation_v8_medium_train_250 No objects detected Detection preview by Segmentation_V11_large_300_train_300 No objects detected Detection preview by Segmentation_v8_large_300_train_300
Original Image: P03863.jpg
GT: pliers
pliers Detection preview by Box_v11_medium_train_SIXray_OPIXray pliers Detection preview by DN_Medium_300_yolov8m_20t7_new No objects detected Detection preview by Segmentatation_v8_medium_train_250 No objects detected Detection preview by Segmentation_V11_large_300_train_300 No objects detected Detection preview by Segmentation_v8_large_300_train_300
Original Image: P03864.jpg
GT: pliers
pliers Detection preview by Box_v11_medium_train_SIXray_OPIXray No objects detected Detection preview by DN_Medium_300_yolov8m_20t7_new No objects detected Detection preview by Segmentatation_v8_medium_train_250 No objects detected Detection preview by Segmentation_V11_large_300_train_300 No objects detected Detection preview by Segmentation_v8_large_300_train_300
Original Image: P03865.jpg
GT: pliers
pliers Detection preview by Box_v11_medium_train_SIXray_OPIXray No objects detected Detection preview by DN_Medium_300_yolov8m_20t7_new No objects detected Detection preview by Segmentatation_v8_medium_train_250 No objects detected Detection preview by Segmentation_V11_large_300_train_300 No objects detected Detection preview by Segmentation_v8_large_300_train_300
Original Image: P03866.jpg
GT: pliers, scissors
pliers, scissor Detection preview by Box_v11_medium_train_SIXray_OPIXray No objects detected Detection preview by DN_Medium_300_yolov8m_20t7_new scissor Detection preview by Segmentatation_v8_medium_train_250 scissor Detection preview by Segmentation_V11_large_300_train_300 scissor Detection preview by Segmentation_v8_large_300_train_300
Original Image: P03867.jpg
GT: pliers, scissors
pliers, scissor Detection preview by Box_v11_medium_train_SIXray_OPIXray No objects detected Detection preview by DN_Medium_300_yolov8m_20t7_new scissor Detection preview by Segmentatation_v8_medium_train_250 scissor Detection preview by Segmentation_V11_large_300_train_300 scissor Detection preview by Segmentation_v8_large_300_train_300
Original Image: P03868.jpg
GT: pliers
pliers Detection preview by Box_v11_medium_train_SIXray_OPIXray pliers Detection preview by DN_Medium_300_yolov8m_20t7_new No objects detected Detection preview by Segmentatation_v8_medium_train_250 No objects detected Detection preview by Segmentation_V11_large_300_train_300 No objects detected Detection preview by Segmentation_v8_large_300_train_300
Original Image: P03869.jpg
GT: pliers
pliers Detection preview by Box_v11_medium_train_SIXray_OPIXray pliers Detection preview by DN_Medium_300_yolov8m_20t7_new No objects detected Detection preview by Segmentatation_v8_medium_train_250 No objects detected Detection preview by Segmentation_V11_large_300_train_300 No objects detected Detection preview by Segmentation_v8_large_300_train_300
Original Image: P03870.jpg
GT: pliers
pliers Detection preview by Box_v11_medium_train_SIXray_OPIXray pliers Detection preview by DN_Medium_300_yolov8m_20t7_new No objects detected Detection preview by Segmentatation_v8_medium_train_250 No objects detected Detection preview by Segmentation_V11_large_300_train_300 No objects detected Detection preview by Segmentation_v8_large_300_train_300
Original Image: P03871.jpg
GT: pliers
pliers Detection preview by Box_v11_medium_train_SIXray_OPIXray No objects detected Detection preview by DN_Medium_300_yolov8m_20t7_new No objects detected Detection preview by Segmentatation_v8_medium_train_250 No objects detected Detection preview by Segmentation_V11_large_300_train_300 No objects detected Detection preview by Segmentation_v8_large_300_train_300
Original Image: P03872.jpg
GT: pliers
pliers Detection preview by Box_v11_medium_train_SIXray_OPIXray No objects detected Detection preview by DN_Medium_300_yolov8m_20t7_new No objects detected Detection preview by Segmentatation_v8_medium_train_250 No objects detected Detection preview by Segmentation_V11_large_300_train_300 No objects detected Detection preview by Segmentation_v8_large_300_train_300
Original Image: P03873.jpg
GT: wrench
wrench Detection preview by Box_v11_medium_train_SIXray_OPIXray No objects detected Detection preview by DN_Medium_300_yolov8m_20t7_new wrench Detection preview by Segmentatation_v8_medium_train_250 wrench Detection preview by Segmentation_V11_large_300_train_300 wrench Detection preview by Segmentation_v8_large_300_train_300
Original Image: P03874.jpg
GT: wrench
wrench Detection preview by Box_v11_medium_train_SIXray_OPIXray No objects detected Detection preview by DN_Medium_300_yolov8m_20t7_new wrench Detection preview by Segmentatation_v8_medium_train_250 wrench Detection preview by Segmentation_V11_large_300_train_300 wrench Detection preview by Segmentation_v8_large_300_train_300
Original Image: P03875.jpg
GT: scissors
scissor Detection preview by Box_v11_medium_train_SIXray_OPIXray No objects detected Detection preview by DN_Medium_300_yolov8m_20t7_new scissor Detection preview by Segmentatation_v8_medium_train_250 scissor Detection preview by Segmentation_V11_large_300_train_300 scissor Detection preview by Segmentation_v8_large_300_train_300
Original Image: P03876.jpg
GT: knife
knife Detection preview by Box_v11_medium_train_SIXray_OPIXray No objects detected Detection preview by DN_Medium_300_yolov8m_20t7_new scissor Detection preview by Segmentatation_v8_medium_train_250 scissor Detection preview by Segmentation_V11_large_300_train_300 scissor Detection preview by Segmentation_v8_large_300_train_300
Original Image: P03877.jpg
GT: knife
knife Detection preview by Box_v11_medium_train_SIXray_OPIXray No objects detected Detection preview by DN_Medium_300_yolov8m_20t7_new scissor Detection preview by Segmentatation_v8_medium_train_250 scissor Detection preview by Segmentation_V11_large_300_train_300 scissor Detection preview by Segmentation_v8_large_300_train_300
Original Image: P03878.jpg
GT: knife
knife Detection preview by Box_v11_medium_train_SIXray_OPIXray No objects detected Detection preview by DN_Medium_300_yolov8m_20t7_new scissor Detection preview by Segmentatation_v8_medium_train_250 scissor Detection preview by Segmentation_V11_large_300_train_300 scissor Detection preview by Segmentation_v8_large_300_train_300
Original Image: P03879.jpg
GT: knife
knife Detection preview by Box_v11_medium_train_SIXray_OPIXray No objects detected Detection preview by DN_Medium_300_yolov8m_20t7_new scissor Detection preview by Segmentatation_v8_medium_train_250 scissor Detection preview by Segmentation_V11_large_300_train_300 scissor Detection preview by Segmentation_v8_large_300_train_300
Original Image: P03880.jpg
GT: knife
knife Detection preview by Box_v11_medium_train_SIXray_OPIXray No objects detected Detection preview by DN_Medium_300_yolov8m_20t7_new scissor Detection preview by Segmentatation_v8_medium_train_250 scissor Detection preview by Segmentation_V11_large_300_train_300 scissor Detection preview by Segmentation_v8_large_300_train_300
Original Image: P03881.jpg
GT: pliers
pliers Detection preview by Box_v11_medium_train_SIXray_OPIXray pliers Detection preview by DN_Medium_300_yolov8m_20t7_new wrench Detection preview by Segmentatation_v8_medium_train_250 wrench Detection preview by Segmentation_V11_large_300_train_300 wrench Detection preview by Segmentation_v8_large_300_train_300
Original Image: P03882.jpg
GT: knife
knife Detection preview by Box_v11_medium_train_SIXray_OPIXray No objects detected Detection preview by DN_Medium_300_yolov8m_20t7_new knife Detection preview by Segmentatation_v8_medium_train_250 knife Detection preview by Segmentation_V11_large_300_train_300 knife Detection preview by Segmentation_v8_large_300_train_300
Original Image: P03883.jpg
GT: scissors
scissor Detection preview by Box_v11_medium_train_SIXray_OPIXray scissor Detection preview by DN_Medium_300_yolov8m_20t7_new scissor, wrench Detection preview by Segmentatation_v8_medium_train_250 scissor, wrench Detection preview by Segmentation_V11_large_300_train_300 scissor Detection preview by Segmentation_v8_large_300_train_300
Original Image: P03884.jpg
GT: pliers, wrench
pliers, wrench Detection preview by Box_v11_medium_train_SIXray_OPIXray No objects detected Detection preview by DN_Medium_300_yolov8m_20t7_new wrench Detection preview by Segmentatation_v8_medium_train_250 wrench Detection preview by Segmentation_V11_large_300_train_300 wrench Detection preview by Segmentation_v8_large_300_train_300
Original Image: P03885.jpg
GT: pliers
pliers Detection preview by Box_v11_medium_train_SIXray_OPIXray pliers Detection preview by DN_Medium_300_yolov8m_20t7_new No objects detected Detection preview by Segmentatation_v8_medium_train_250 No objects detected Detection preview by Segmentation_V11_large_300_train_300 No objects detected Detection preview by Segmentation_v8_large_300_train_300
Original Image: P03886.jpg
GT: pliers
pliers Detection preview by Box_v11_medium_train_SIXray_OPIXray No objects detected Detection preview by DN_Medium_300_yolov8m_20t7_new No objects detected Detection preview by Segmentatation_v8_medium_train_250 No objects detected Detection preview by Segmentation_V11_large_300_train_300 No objects detected Detection preview by Segmentation_v8_large_300_train_300
Original Image: P03887.jpg
GT: wrench
wrench Detection preview by Box_v11_medium_train_SIXray_OPIXray pliers Detection preview by DN_Medium_300_yolov8m_20t7_new wrench Detection preview by Segmentatation_v8_medium_train_250 wrench Detection preview by Segmentation_V11_large_300_train_300 wrench Detection preview by Segmentation_v8_large_300_train_300
Original Image: P03888.jpg
GT: wrench
wrench Detection preview by Box_v11_medium_train_SIXray_OPIXray No objects detected Detection preview by DN_Medium_300_yolov8m_20t7_new wrench Detection preview by Segmentatation_v8_medium_train_250 wrench Detection preview by Segmentation_V11_large_300_train_300 wrench Detection preview by Segmentation_v8_large_300_train_300
Original Image: P03889.jpg
GT: wrench
wrench Detection preview by Box_v11_medium_train_SIXray_OPIXray No objects detected Detection preview by DN_Medium_300_yolov8m_20t7_new wrench Detection preview by Segmentatation_v8_medium_train_250 wrench Detection preview by Segmentation_V11_large_300_train_300 wrench Detection preview by Segmentation_v8_large_300_train_300
Original Image: P03890.jpg
GT: pliers
pliers Detection preview by Box_v11_medium_train_SIXray_OPIXray No objects detected Detection preview by DN_Medium_300_yolov8m_20t7_new No objects detected Detection preview by Segmentatation_v8_medium_train_250 No objects detected Detection preview by Segmentation_V11_large_300_train_300 No objects detected Detection preview by Segmentation_v8_large_300_train_300
Original Image: P03891.jpg
GT: pliers
pliers Detection preview by Box_v11_medium_train_SIXray_OPIXray No objects detected Detection preview by DN_Medium_300_yolov8m_20t7_new No objects detected Detection preview by Segmentatation_v8_medium_train_250 No objects detected Detection preview by Segmentation_V11_large_300_train_300 No objects detected Detection preview by Segmentation_v8_large_300_train_300
Original Image: P03892.jpg
GT: pliers
pliers Detection preview by Box_v11_medium_train_SIXray_OPIXray No objects detected Detection preview by DN_Medium_300_yolov8m_20t7_new No objects detected Detection preview by Segmentatation_v8_medium_train_250 No objects detected Detection preview by Segmentation_V11_large_300_train_300 No objects detected Detection preview by Segmentation_v8_large_300_train_300
Original Image: P03893.jpg
GT: knife
knife Detection preview by Box_v11_medium_train_SIXray_OPIXray No objects detected Detection preview by DN_Medium_300_yolov8m_20t7_new scissor Detection preview by Segmentatation_v8_medium_train_250 scissor Detection preview by Segmentation_V11_large_300_train_300 scissor Detection preview by Segmentation_v8_large_300_train_300
Original Image: P03894.jpg
GT: knife
knife Detection preview by Box_v11_medium_train_SIXray_OPIXray No objects detected Detection preview by DN_Medium_300_yolov8m_20t7_new knife Detection preview by Segmentatation_v8_medium_train_250 knife Detection preview by Segmentation_V11_large_300_train_300 knife Detection preview by Segmentation_v8_large_300_train_300
Original Image: P03895.jpg
GT: knife
knife Detection preview by Box_v11_medium_train_SIXray_OPIXray No objects detected Detection preview by DN_Medium_300_yolov8m_20t7_new knife Detection preview by Segmentatation_v8_medium_train_250 knife Detection preview by Segmentation_V11_large_300_train_300 knife Detection preview by Segmentation_v8_large_300_train_300
Original Image: P03896.jpg
GT: pliers
pliers Detection preview by Box_v11_medium_train_SIXray_OPIXray No objects detected Detection preview by DN_Medium_300_yolov8m_20t7_new No objects detected Detection preview by Segmentatation_v8_medium_train_250 No objects detected Detection preview by Segmentation_V11_large_300_train_300 No objects detected Detection preview by Segmentation_v8_large_300_train_300
Original Image: P03897.jpg
GT: pliers
pliers Detection preview by Box_v11_medium_train_SIXray_OPIXray No objects detected Detection preview by DN_Medium_300_yolov8m_20t7_new No objects detected Detection preview by Segmentatation_v8_medium_train_250 No objects detected Detection preview by Segmentation_V11_large_300_train_300 No objects detected Detection preview by Segmentation_v8_large_300_train_300
Original Image: P03898.jpg
GT: pliers
pliers Detection preview by Box_v11_medium_train_SIXray_OPIXray pliers Detection preview by DN_Medium_300_yolov8m_20t7_new No objects detected Detection preview by Segmentatation_v8_medium_train_250 No objects detected Detection preview by Segmentation_V11_large_300_train_300 No objects detected Detection preview by Segmentation_v8_large_300_train_300
Original Image: P03899.jpg
GT: pliers
pliers Detection preview by Box_v11_medium_train_SIXray_OPIXray No objects detected Detection preview by DN_Medium_300_yolov8m_20t7_new No objects detected Detection preview by Segmentatation_v8_medium_train_250 No objects detected Detection preview by Segmentation_V11_large_300_train_300 No objects detected Detection preview by Segmentation_v8_large_300_train_300
Original Image: P03900.jpg
GT: scissors
scissor Detection preview by Box_v11_medium_train_SIXray_OPIXray scissor Detection preview by DN_Medium_300_yolov8m_20t7_new scissor Detection preview by Segmentatation_v8_medium_train_250 scissor Detection preview by Segmentation_V11_large_300_train_300 scissor Detection preview by Segmentation_v8_large_300_train_300
Original Image: P03901.jpg
GT: scissors
scissor Detection preview by Box_v11_medium_train_SIXray_OPIXray scissor Detection preview by DN_Medium_300_yolov8m_20t7_new scissor Detection preview by Segmentatation_v8_medium_train_250 scissor Detection preview by Segmentation_V11_large_300_train_300 scissor Detection preview by Segmentation_v8_large_300_train_300
Original Image: P03902.jpg
GT: scissors
scissor Detection preview by Box_v11_medium_train_SIXray_OPIXray scissor Detection preview by DN_Medium_300_yolov8m_20t7_new scissor Detection preview by Segmentatation_v8_medium_train_250 scissor Detection preview by Segmentation_V11_large_300_train_300 scissor Detection preview by Segmentation_v8_large_300_train_300
Original Image: P03903.jpg
GT: pliers, wrench
pliers, wrench Detection preview by Box_v11_medium_train_SIXray_OPIXray No objects detected Detection preview by DN_Medium_300_yolov8m_20t7_new wrench Detection preview by Segmentatation_v8_medium_train_250 wrench Detection preview by Segmentation_V11_large_300_train_300 wrench Detection preview by Segmentation_v8_large_300_train_300
Original Image: P03904.jpg
GT: scissors
scissor Detection preview by Box_v11_medium_train_SIXray_OPIXray No objects detected Detection preview by DN_Medium_300_yolov8m_20t7_new scissor Detection preview by Segmentatation_v8_medium_train_250 scissor Detection preview by Segmentation_V11_large_300_train_300 scissor Detection preview by Segmentation_v8_large_300_train_300
Original Image: P03905.jpg
GT: scissors
scissor Detection preview by Box_v11_medium_train_SIXray_OPIXray No objects detected Detection preview by DN_Medium_300_yolov8m_20t7_new scissor Detection preview by Segmentatation_v8_medium_train_250 scissor Detection preview by Segmentation_V11_large_300_train_300 scissor Detection preview by Segmentation_v8_large_300_train_300
Original Image: P03906.jpg
GT: scissors
scissor Detection preview by Box_v11_medium_train_SIXray_OPIXray No objects detected Detection preview by DN_Medium_300_yolov8m_20t7_new scissor Detection preview by Segmentatation_v8_medium_train_250 scissor Detection preview by Segmentation_V11_large_300_train_300 scissor Detection preview by Segmentation_v8_large_300_train_300
Original Image: P03907.jpg
GT: scissors
scissor Detection preview by Box_v11_medium_train_SIXray_OPIXray No objects detected Detection preview by DN_Medium_300_yolov8m_20t7_new scissor Detection preview by Segmentatation_v8_medium_train_250 scissor Detection preview by Segmentation_V11_large_300_train_300 scissor Detection preview by Segmentation_v8_large_300_train_300
Original Image: P03908.jpg
GT: scissors
scissor Detection preview by Box_v11_medium_train_SIXray_OPIXray No objects detected Detection preview by DN_Medium_300_yolov8m_20t7_new scissor Detection preview by Segmentatation_v8_medium_train_250 scissor Detection preview by Segmentation_V11_large_300_train_300 scissor Detection preview by Segmentation_v8_large_300_train_300
Original Image: P03909.jpg
GT: wrench
wrench Detection preview by Box_v11_medium_train_SIXray_OPIXray No objects detected Detection preview by DN_Medium_300_yolov8m_20t7_new wrench Detection preview by Segmentatation_v8_medium_train_250 wrench Detection preview by Segmentation_V11_large_300_train_300 wrench Detection preview by Segmentation_v8_large_300_train_300
Original Image: P03910.jpg
GT: wrench
wrench Detection preview by Box_v11_medium_train_SIXray_OPIXray No objects detected Detection preview by DN_Medium_300_yolov8m_20t7_new wrench Detection preview by Segmentatation_v8_medium_train_250 wrench Detection preview by Segmentation_V11_large_300_train_300 wrench Detection preview by Segmentation_v8_large_300_train_300
Original Image: P03911.jpg
GT: pliers
pliers Detection preview by Box_v11_medium_train_SIXray_OPIXray No objects detected Detection preview by DN_Medium_300_yolov8m_20t7_new No objects detected Detection preview by Segmentatation_v8_medium_train_250 No objects detected Detection preview by Segmentation_V11_large_300_train_300 No objects detected Detection preview by Segmentation_v8_large_300_train_300
Original Image: P03912.jpg
GT: pliers
pliers Detection preview by Box_v11_medium_train_SIXray_OPIXray No objects detected Detection preview by DN_Medium_300_yolov8m_20t7_new No objects detected Detection preview by Segmentatation_v8_medium_train_250 No objects detected Detection preview by Segmentation_V11_large_300_train_300 No objects detected Detection preview by Segmentation_v8_large_300_train_300
Original Image: P03913.jpg
GT: pliers
pliers Detection preview by Box_v11_medium_train_SIXray_OPIXray pliers Detection preview by DN_Medium_300_yolov8m_20t7_new No objects detected Detection preview by Segmentatation_v8_medium_train_250 No objects detected Detection preview by Segmentation_V11_large_300_train_300 No objects detected Detection preview by Segmentation_v8_large_300_train_300
Original Image: P03914.jpg
GT: pliers
pliers Detection preview by Box_v11_medium_train_SIXray_OPIXray pliers Detection preview by DN_Medium_300_yolov8m_20t7_new No objects detected Detection preview by Segmentatation_v8_medium_train_250 No objects detected Detection preview by Segmentation_V11_large_300_train_300 No objects detected Detection preview by Segmentation_v8_large_300_train_300
Original Image: P03915.jpg
GT: pliers, wrench
pliers, wrench Detection preview by Box_v11_medium_train_SIXray_OPIXray No objects detected Detection preview by DN_Medium_300_yolov8m_20t7_new wrench Detection preview by Segmentatation_v8_medium_train_250 wrench Detection preview by Segmentation_V11_large_300_train_300 wrench Detection preview by Segmentation_v8_large_300_train_300
Original Image: P03916.jpg
GT: pliers
pliers Detection preview by Box_v11_medium_train_SIXray_OPIXray pliers Detection preview by DN_Medium_300_yolov8m_20t7_new No objects detected Detection preview by Segmentatation_v8_medium_train_250 No objects detected Detection preview by Segmentation_V11_large_300_train_300 No objects detected Detection preview by Segmentation_v8_large_300_train_300
Original Image: P03917.jpg
GT: pliers
pliers Detection preview by Box_v11_medium_train_SIXray_OPIXray pliers Detection preview by DN_Medium_300_yolov8m_20t7_new No objects detected Detection preview by Segmentatation_v8_medium_train_250 No objects detected Detection preview by Segmentation_V11_large_300_train_300 No objects detected Detection preview by Segmentation_v8_large_300_train_300
Original Image: P03918.jpg
GT: pliers, wrench
pliers, wrench Detection preview by Box_v11_medium_train_SIXray_OPIXray pliers Detection preview by DN_Medium_300_yolov8m_20t7_new wrench Detection preview by Segmentatation_v8_medium_train_250 wrench Detection preview by Segmentation_V11_large_300_train_300 wrench Detection preview by Segmentation_v8_large_300_train_300
Original Image: P03919.jpg
GT: pliers
pliers Detection preview by Box_v11_medium_train_SIXray_OPIXray No objects detected Detection preview by DN_Medium_300_yolov8m_20t7_new No objects detected Detection preview by Segmentatation_v8_medium_train_250 No objects detected Detection preview by Segmentation_V11_large_300_train_300 No objects detected Detection preview by Segmentation_v8_large_300_train_300
Original Image: P03920.jpg
GT: pliers
pliers Detection preview by Box_v11_medium_train_SIXray_OPIXray No objects detected Detection preview by DN_Medium_300_yolov8m_20t7_new No objects detected Detection preview by Segmentatation_v8_medium_train_250 No objects detected Detection preview by Segmentation_V11_large_300_train_300 No objects detected Detection preview by Segmentation_v8_large_300_train_300
Original Image: P03921.jpg
GT: pliers
pliers Detection preview by Box_v11_medium_train_SIXray_OPIXray No objects detected Detection preview by DN_Medium_300_yolov8m_20t7_new No objects detected Detection preview by Segmentatation_v8_medium_train_250 No objects detected Detection preview by Segmentation_V11_large_300_train_300 No objects detected Detection preview by Segmentation_v8_large_300_train_300
Original Image: P03922.jpg
GT: pliers, wrench
pliers, wrench Detection preview by Box_v11_medium_train_SIXray_OPIXray No objects detected Detection preview by DN_Medium_300_yolov8m_20t7_new wrench Detection preview by Segmentatation_v8_medium_train_250 wrench Detection preview by Segmentation_V11_large_300_train_300 wrench Detection preview by Segmentation_v8_large_300_train_300
Original Image: P03923.jpg
GT: pliers, wrench
pliers, wrench Detection preview by Box_v11_medium_train_SIXray_OPIXray No objects detected Detection preview by DN_Medium_300_yolov8m_20t7_new wrench Detection preview by Segmentatation_v8_medium_train_250 wrench Detection preview by Segmentation_V11_large_300_train_300 wrench Detection preview by Segmentation_v8_large_300_train_300
Original Image: P03924.jpg
GT: pliers
pliers Detection preview by Box_v11_medium_train_SIXray_OPIXray No objects detected Detection preview by DN_Medium_300_yolov8m_20t7_new No objects detected Detection preview by Segmentatation_v8_medium_train_250 No objects detected Detection preview by Segmentation_V11_large_300_train_300 No objects detected Detection preview by Segmentation_v8_large_300_train_300
Original Image: P03925.jpg
GT: wrench
wrench Detection preview by Box_v11_medium_train_SIXray_OPIXray pliers Detection preview by DN_Medium_300_yolov8m_20t7_new wrench Detection preview by Segmentatation_v8_medium_train_250 wrench Detection preview by Segmentation_V11_large_300_train_300 wrench Detection preview by Segmentation_v8_large_300_train_300
Original Image: P03926.jpg
GT: wrench
wrench Detection preview by Box_v11_medium_train_SIXray_OPIXray pliers Detection preview by DN_Medium_300_yolov8m_20t7_new wrench Detection preview by Segmentatation_v8_medium_train_250 wrench Detection preview by Segmentation_V11_large_300_train_300 wrench Detection preview by Segmentation_v8_large_300_train_300
Original Image: P03927.jpg
GT: wrench
wrench Detection preview by Box_v11_medium_train_SIXray_OPIXray pliers Detection preview by DN_Medium_300_yolov8m_20t7_new wrench Detection preview by Segmentatation_v8_medium_train_250 wrench Detection preview by Segmentation_V11_large_300_train_300 wrench Detection preview by Segmentation_v8_large_300_train_300
Original Image: P03928.jpg
GT: pliers
pliers Detection preview by Box_v11_medium_train_SIXray_OPIXray No objects detected Detection preview by DN_Medium_300_yolov8m_20t7_new No objects detected Detection preview by Segmentatation_v8_medium_train_250 No objects detected Detection preview by Segmentation_V11_large_300_train_300 No objects detected Detection preview by Segmentation_v8_large_300_train_300
Original Image: P03929.jpg
GT: pliers, wrench
pliers, wrench Detection preview by Box_v11_medium_train_SIXray_OPIXray No objects detected Detection preview by DN_Medium_300_yolov8m_20t7_new wrench Detection preview by Segmentatation_v8_medium_train_250 wrench Detection preview by Segmentation_V11_large_300_train_300 wrench Detection preview by Segmentation_v8_large_300_train_300
Original Image: P03930.jpg
GT: scissors
scissor Detection preview by Box_v11_medium_train_SIXray_OPIXray No objects detected Detection preview by DN_Medium_300_yolov8m_20t7_new scissor Detection preview by Segmentatation_v8_medium_train_250 scissor Detection preview by Segmentation_V11_large_300_train_300 scissor Detection preview by Segmentation_v8_large_300_train_300
Original Image: P03931.jpg
GT: scissors
scissor Detection preview by Box_v11_medium_train_SIXray_OPIXray No objects detected Detection preview by DN_Medium_300_yolov8m_20t7_new scissor Detection preview by Segmentatation_v8_medium_train_250 scissor Detection preview by Segmentation_V11_large_300_train_300 scissor Detection preview by Segmentation_v8_large_300_train_300
Original Image: P03932.jpg
GT: scissors
scissor Detection preview by Box_v11_medium_train_SIXray_OPIXray No objects detected Detection preview by DN_Medium_300_yolov8m_20t7_new scissor Detection preview by Segmentatation_v8_medium_train_250 scissor Detection preview by Segmentation_V11_large_300_train_300 scissor Detection preview by Segmentation_v8_large_300_train_300
Original Image: P03933.jpg
GT: pliers
pliers Detection preview by Box_v11_medium_train_SIXray_OPIXray No objects detected Detection preview by DN_Medium_300_yolov8m_20t7_new No objects detected Detection preview by Segmentatation_v8_medium_train_250 No objects detected Detection preview by Segmentation_V11_large_300_train_300 No objects detected Detection preview by Segmentation_v8_large_300_train_300
Original Image: P03934.jpg
GT: pliers
pliers Detection preview by Box_v11_medium_train_SIXray_OPIXray No objects detected Detection preview by DN_Medium_300_yolov8m_20t7_new No objects detected Detection preview by Segmentatation_v8_medium_train_250 No objects detected Detection preview by Segmentation_V11_large_300_train_300 No objects detected Detection preview by Segmentation_v8_large_300_train_300
Original Image: P03935.jpg
GT: pliers
pliers Detection preview by Box_v11_medium_train_SIXray_OPIXray pliers Detection preview by DN_Medium_300_yolov8m_20t7_new No objects detected Detection preview by Segmentatation_v8_medium_train_250 No objects detected Detection preview by Segmentation_V11_large_300_train_300 No objects detected Detection preview by Segmentation_v8_large_300_train_300
Original Image: P03936.jpg
GT: pliers
pliers Detection preview by Box_v11_medium_train_SIXray_OPIXray pliers Detection preview by DN_Medium_300_yolov8m_20t7_new No objects detected Detection preview by Segmentatation_v8_medium_train_250 No objects detected Detection preview by Segmentation_V11_large_300_train_300 No objects detected Detection preview by Segmentation_v8_large_300_train_300
Original Image: P03937.jpg
GT: scissors
scissor Detection preview by Box_v11_medium_train_SIXray_OPIXray No objects detected Detection preview by DN_Medium_300_yolov8m_20t7_new scissor Detection preview by Segmentatation_v8_medium_train_250 scissor Detection preview by Segmentation_V11_large_300_train_300 scissor Detection preview by Segmentation_v8_large_300_train_300
Original Image: P03938.jpg
GT: scissors
scissor Detection preview by Box_v11_medium_train_SIXray_OPIXray No objects detected Detection preview by DN_Medium_300_yolov8m_20t7_new scissor Detection preview by Segmentatation_v8_medium_train_250 scissor Detection preview by Segmentation_V11_large_300_train_300 scissor Detection preview by Segmentation_v8_large_300_train_300
Original Image: P03939.jpg
GT: scissors
scissor Detection preview by Box_v11_medium_train_SIXray_OPIXray No objects detected Detection preview by DN_Medium_300_yolov8m_20t7_new scissor Detection preview by Segmentatation_v8_medium_train_250 scissor Detection preview by Segmentation_V11_large_300_train_300 scissor Detection preview by Segmentation_v8_large_300_train_300
Original Image: P03940.jpg
GT: pliers
pliers Detection preview by Box_v11_medium_train_SIXray_OPIXray No objects detected Detection preview by DN_Medium_300_yolov8m_20t7_new No objects detected Detection preview by Segmentatation_v8_medium_train_250 No objects detected Detection preview by Segmentation_V11_large_300_train_300 No objects detected Detection preview by Segmentation_v8_large_300_train_300
Original Image: P03941.jpg
GT: wrench
wrench Detection preview by Box_v11_medium_train_SIXray_OPIXray wrench Detection preview by DN_Medium_300_yolov8m_20t7_new wrench Detection preview by Segmentatation_v8_medium_train_250 wrench Detection preview by Segmentation_V11_large_300_train_300 wrench Detection preview by Segmentation_v8_large_300_train_300
Original Image: P03942.jpg
GT: pliers, wrench
pliers, wrench Detection preview by Box_v11_medium_train_SIXray_OPIXray No objects detected Detection preview by DN_Medium_300_yolov8m_20t7_new wrench Detection preview by Segmentatation_v8_medium_train_250 wrench Detection preview by Segmentation_V11_large_300_train_300 wrench Detection preview by Segmentation_v8_large_300_train_300
Original Image: P03943.jpg
GT: pliers, wrench
pliers, wrench Detection preview by Box_v11_medium_train_SIXray_OPIXray pliers Detection preview by DN_Medium_300_yolov8m_20t7_new wrench Detection preview by Segmentatation_v8_medium_train_250 wrench Detection preview by Segmentation_V11_large_300_train_300 wrench Detection preview by Segmentation_v8_large_300_train_300
Original Image: P03944.jpg
GT: pliers, wrench
pliers, wrench Detection preview by Box_v11_medium_train_SIXray_OPIXray No objects detected Detection preview by DN_Medium_300_yolov8m_20t7_new wrench Detection preview by Segmentatation_v8_medium_train_250 wrench Detection preview by Segmentation_V11_large_300_train_300 wrench Detection preview by Segmentation_v8_large_300_train_300
Original Image: P03945.jpg
GT: pliers, wrench
pliers, wrench Detection preview by Box_v11_medium_train_SIXray_OPIXray No objects detected Detection preview by DN_Medium_300_yolov8m_20t7_new wrench Detection preview by Segmentatation_v8_medium_train_250 wrench Detection preview by Segmentation_V11_large_300_train_300 wrench Detection preview by Segmentation_v8_large_300_train_300
Original Image: P03946.jpg
GT: pliers, wrench
pliers, wrench Detection preview by Box_v11_medium_train_SIXray_OPIXray No objects detected Detection preview by DN_Medium_300_yolov8m_20t7_new wrench Detection preview by Segmentatation_v8_medium_train_250 wrench Detection preview by Segmentation_V11_large_300_train_300 wrench Detection preview by Segmentation_v8_large_300_train_300
Original Image: P03947.jpg
GT: pliers, wrench
pliers, wrench Detection preview by Box_v11_medium_train_SIXray_OPIXray No objects detected Detection preview by DN_Medium_300_yolov8m_20t7_new wrench Detection preview by Segmentatation_v8_medium_train_250 wrench Detection preview by Segmentation_V11_large_300_train_300 wrench Detection preview by Segmentation_v8_large_300_train_300
Original Image: P03948.jpg
GT: pliers, wrench
pliers, wrench Detection preview by Box_v11_medium_train_SIXray_OPIXray No objects detected Detection preview by DN_Medium_300_yolov8m_20t7_new wrench Detection preview by Segmentatation_v8_medium_train_250 wrench Detection preview by Segmentation_V11_large_300_train_300 wrench Detection preview by Segmentation_v8_large_300_train_300
Original Image: P03949.jpg
GT: pliers, wrench
pliers, wrench Detection preview by Box_v11_medium_train_SIXray_OPIXray No objects detected Detection preview by DN_Medium_300_yolov8m_20t7_new wrench Detection preview by Segmentatation_v8_medium_train_250 wrench Detection preview by Segmentation_V11_large_300_train_300 wrench Detection preview by Segmentation_v8_large_300_train_300
Original Image: P03950.jpg
GT: pliers, wrench
pliers, wrench Detection preview by Box_v11_medium_train_SIXray_OPIXray No objects detected Detection preview by DN_Medium_300_yolov8m_20t7_new wrench Detection preview by Segmentatation_v8_medium_train_250 wrench Detection preview by Segmentation_V11_large_300_train_300 wrench Detection preview by Segmentation_v8_large_300_train_300
Original Image: P03951.jpg
GT: pliers, wrench
pliers, wrench Detection preview by Box_v11_medium_train_SIXray_OPIXray No objects detected Detection preview by DN_Medium_300_yolov8m_20t7_new wrench Detection preview by Segmentatation_v8_medium_train_250 wrench Detection preview by Segmentation_V11_large_300_train_300 wrench Detection preview by Segmentation_v8_large_300_train_300
Original Image: P03952.jpg
GT: pliers, wrench
pliers, wrench Detection preview by Box_v11_medium_train_SIXray_OPIXray No objects detected Detection preview by DN_Medium_300_yolov8m_20t7_new wrench Detection preview by Segmentatation_v8_medium_train_250 wrench Detection preview by Segmentation_V11_large_300_train_300 wrench Detection preview by Segmentation_v8_large_300_train_300
Original Image: P03953.jpg
GT: wrench
wrench Detection preview by Box_v11_medium_train_SIXray_OPIXray No objects detected Detection preview by DN_Medium_300_yolov8m_20t7_new wrench Detection preview by Segmentatation_v8_medium_train_250 wrench Detection preview by Segmentation_V11_large_300_train_300 wrench Detection preview by Segmentation_v8_large_300_train_300
Original Image: P03954.jpg
GT: wrench
wrench Detection preview by Box_v11_medium_train_SIXray_OPIXray No objects detected Detection preview by DN_Medium_300_yolov8m_20t7_new wrench Detection preview by Segmentatation_v8_medium_train_250 wrench Detection preview by Segmentation_V11_large_300_train_300 wrench Detection preview by Segmentation_v8_large_300_train_300
Original Image: P03955.jpg
GT: pliers, wrench
pliers, wrench Detection preview by Box_v11_medium_train_SIXray_OPIXray No objects detected Detection preview by DN_Medium_300_yolov8m_20t7_new wrench Detection preview by Segmentatation_v8_medium_train_250 wrench Detection preview by Segmentation_V11_large_300_train_300 wrench Detection preview by Segmentation_v8_large_300_train_300
Original Image: P03956.jpg
GT: pliers, wrench
pliers, wrench Detection preview by Box_v11_medium_train_SIXray_OPIXray No objects detected Detection preview by DN_Medium_300_yolov8m_20t7_new wrench Detection preview by Segmentatation_v8_medium_train_250 wrench Detection preview by Segmentation_V11_large_300_train_300 wrench Detection preview by Segmentation_v8_large_300_train_300
Original Image: P03957.jpg
GT: pliers, wrench
pliers, wrench Detection preview by Box_v11_medium_train_SIXray_OPIXray No objects detected Detection preview by DN_Medium_300_yolov8m_20t7_new wrench Detection preview by Segmentatation_v8_medium_train_250 wrench Detection preview by Segmentation_V11_large_300_train_300 wrench Detection preview by Segmentation_v8_large_300_train_300
Original Image: P03958.jpg
GT: pliers, wrench
pliers, wrench Detection preview by Box_v11_medium_train_SIXray_OPIXray No objects detected Detection preview by DN_Medium_300_yolov8m_20t7_new wrench Detection preview by Segmentatation_v8_medium_train_250 wrench Detection preview by Segmentation_V11_large_300_train_300 wrench Detection preview by Segmentation_v8_large_300_train_300
Original Image: P03959.jpg
GT: pliers, wrench
pliers, wrench Detection preview by Box_v11_medium_train_SIXray_OPIXray No objects detected Detection preview by DN_Medium_300_yolov8m_20t7_new wrench Detection preview by Segmentatation_v8_medium_train_250 wrench Detection preview by Segmentation_V11_large_300_train_300 wrench Detection preview by Segmentation_v8_large_300_train_300
Original Image: P03960.jpg
GT: pliers, wrench
pliers, wrench Detection preview by Box_v11_medium_train_SIXray_OPIXray No objects detected Detection preview by DN_Medium_300_yolov8m_20t7_new wrench Detection preview by Segmentatation_v8_medium_train_250 wrench Detection preview by Segmentation_V11_large_300_train_300 wrench Detection preview by Segmentation_v8_large_300_train_300
Original Image: P03961.jpg
GT: pliers, wrench
pliers, wrench Detection preview by Box_v11_medium_train_SIXray_OPIXray No objects detected Detection preview by DN_Medium_300_yolov8m_20t7_new wrench Detection preview by Segmentatation_v8_medium_train_250 wrench Detection preview by Segmentation_V11_large_300_train_300 wrench Detection preview by Segmentation_v8_large_300_train_300
Original Image: P03962.jpg
GT: pliers, wrench
pliers, wrench Detection preview by Box_v11_medium_train_SIXray_OPIXray No objects detected Detection preview by DN_Medium_300_yolov8m_20t7_new wrench Detection preview by Segmentatation_v8_medium_train_250 wrench Detection preview by Segmentation_V11_large_300_train_300 wrench Detection preview by Segmentation_v8_large_300_train_300
Original Image: P03963.jpg
GT: pliers, wrench
pliers, wrench Detection preview by Box_v11_medium_train_SIXray_OPIXray No objects detected Detection preview by DN_Medium_300_yolov8m_20t7_new wrench Detection preview by Segmentatation_v8_medium_train_250 wrench Detection preview by Segmentation_V11_large_300_train_300 wrench Detection preview by Segmentation_v8_large_300_train_300
Original Image: P03964.jpg
GT: pliers, wrench
pliers, wrench Detection preview by Box_v11_medium_train_SIXray_OPIXray No objects detected Detection preview by DN_Medium_300_yolov8m_20t7_new wrench Detection preview by Segmentatation_v8_medium_train_250 wrench Detection preview by Segmentation_V11_large_300_train_300 wrench Detection preview by Segmentation_v8_large_300_train_300
Original Image: P03965.jpg
GT: pliers, wrench
pliers, wrench Detection preview by Box_v11_medium_train_SIXray_OPIXray No objects detected Detection preview by DN_Medium_300_yolov8m_20t7_new wrench Detection preview by Segmentatation_v8_medium_train_250 wrench Detection preview by Segmentation_V11_large_300_train_300 wrench Detection preview by Segmentation_v8_large_300_train_300
Original Image: P03966.jpg
GT: pliers, wrench
pliers, wrench Detection preview by Box_v11_medium_train_SIXray_OPIXray No objects detected Detection preview by DN_Medium_300_yolov8m_20t7_new wrench Detection preview by Segmentatation_v8_medium_train_250 wrench Detection preview by Segmentation_V11_large_300_train_300 wrench Detection preview by Segmentation_v8_large_300_train_300
Original Image: P03967.jpg
GT: pliers, wrench
pliers, wrench Detection preview by Box_v11_medium_train_SIXray_OPIXray No objects detected Detection preview by DN_Medium_300_yolov8m_20t7_new wrench Detection preview by Segmentatation_v8_medium_train_250 wrench Detection preview by Segmentation_V11_large_300_train_300 wrench Detection preview by Segmentation_v8_large_300_train_300
Original Image: P03968.jpg
GT: pliers, wrench
pliers, wrench Detection preview by Box_v11_medium_train_SIXray_OPIXray No objects detected Detection preview by DN_Medium_300_yolov8m_20t7_new wrench Detection preview by Segmentatation_v8_medium_train_250 wrench Detection preview by Segmentation_V11_large_300_train_300 wrench Detection preview by Segmentation_v8_large_300_train_300
Original Image: P03969.jpg
GT: pliers, wrench
pliers, wrench Detection preview by Box_v11_medium_train_SIXray_OPIXray No objects detected Detection preview by DN_Medium_300_yolov8m_20t7_new wrench Detection preview by Segmentatation_v8_medium_train_250 wrench Detection preview by Segmentation_V11_large_300_train_300 wrench Detection preview by Segmentation_v8_large_300_train_300
Original Image: P03970.jpg
GT: pliers, wrench
pliers, wrench Detection preview by Box_v11_medium_train_SIXray_OPIXray No objects detected Detection preview by DN_Medium_300_yolov8m_20t7_new wrench Detection preview by Segmentatation_v8_medium_train_250 wrench Detection preview by Segmentation_V11_large_300_train_300 wrench Detection preview by Segmentation_v8_large_300_train_300
Original Image: P03971.jpg
GT: pliers, wrench
pliers, wrench Detection preview by Box_v11_medium_train_SIXray_OPIXray No objects detected Detection preview by DN_Medium_300_yolov8m_20t7_new wrench Detection preview by Segmentatation_v8_medium_train_250 wrench Detection preview by Segmentation_V11_large_300_train_300 wrench Detection preview by Segmentation_v8_large_300_train_300
Original Image: P03972.jpg
GT: pliers, wrench
pliers, wrench Detection preview by Box_v11_medium_train_SIXray_OPIXray No objects detected Detection preview by DN_Medium_300_yolov8m_20t7_new wrench Detection preview by Segmentatation_v8_medium_train_250 wrench Detection preview by Segmentation_V11_large_300_train_300 wrench Detection preview by Segmentation_v8_large_300_train_300
Original Image: P03973.jpg
GT: pliers, wrench
pliers, wrench Detection preview by Box_v11_medium_train_SIXray_OPIXray No objects detected Detection preview by DN_Medium_300_yolov8m_20t7_new wrench Detection preview by Segmentatation_v8_medium_train_250 wrench Detection preview by Segmentation_V11_large_300_train_300 wrench Detection preview by Segmentation_v8_large_300_train_300
Original Image: P03974.jpg
GT: pliers, wrench
pliers, wrench Detection preview by Box_v11_medium_train_SIXray_OPIXray No objects detected Detection preview by DN_Medium_300_yolov8m_20t7_new wrench Detection preview by Segmentatation_v8_medium_train_250 wrench Detection preview by Segmentation_V11_large_300_train_300 wrench Detection preview by Segmentation_v8_large_300_train_300
Original Image: P03975.jpg
GT: pliers, wrench
pliers, wrench Detection preview by Box_v11_medium_train_SIXray_OPIXray pliers Detection preview by DN_Medium_300_yolov8m_20t7_new wrench Detection preview by Segmentatation_v8_medium_train_250 wrench Detection preview by Segmentation_V11_large_300_train_300 wrench Detection preview by Segmentation_v8_large_300_train_300
Original Image: P03976.jpg
GT: pliers, wrench
pliers, wrench Detection preview by Box_v11_medium_train_SIXray_OPIXray No objects detected Detection preview by DN_Medium_300_yolov8m_20t7_new wrench Detection preview by Segmentatation_v8_medium_train_250 wrench Detection preview by Segmentation_V11_large_300_train_300 wrench Detection preview by Segmentation_v8_large_300_train_300
Original Image: P03977.jpg
GT: pliers, wrench
pliers, wrench Detection preview by Box_v11_medium_train_SIXray_OPIXray pliers Detection preview by DN_Medium_300_yolov8m_20t7_new wrench Detection preview by Segmentatation_v8_medium_train_250 wrench Detection preview by Segmentation_V11_large_300_train_300 wrench Detection preview by Segmentation_v8_large_300_train_300
Original Image: P03978.jpg
GT: pliers, wrench
pliers, wrench Detection preview by Box_v11_medium_train_SIXray_OPIXray pliers Detection preview by DN_Medium_300_yolov8m_20t7_new wrench Detection preview by Segmentatation_v8_medium_train_250 wrench Detection preview by Segmentation_V11_large_300_train_300 wrench Detection preview by Segmentation_v8_large_300_train_300
Original Image: P03979.jpg
GT: pliers, wrench
pliers, wrench Detection preview by Box_v11_medium_train_SIXray_OPIXray pliers Detection preview by DN_Medium_300_yolov8m_20t7_new wrench Detection preview by Segmentatation_v8_medium_train_250 wrench Detection preview by Segmentation_V11_large_300_train_300 wrench Detection preview by Segmentation_v8_large_300_train_300
Original Image: P03980.jpg
GT: pliers, wrench
pliers, wrench Detection preview by Box_v11_medium_train_SIXray_OPIXray No objects detected Detection preview by DN_Medium_300_yolov8m_20t7_new wrench Detection preview by Segmentatation_v8_medium_train_250 wrench Detection preview by Segmentation_V11_large_300_train_300 wrench Detection preview by Segmentation_v8_large_300_train_300
Original Image: P03981.jpg
GT: pliers, wrench
pliers, wrench Detection preview by Box_v11_medium_train_SIXray_OPIXray No objects detected Detection preview by DN_Medium_300_yolov8m_20t7_new wrench Detection preview by Segmentatation_v8_medium_train_250 wrench Detection preview by Segmentation_V11_large_300_train_300 wrench Detection preview by Segmentation_v8_large_300_train_300
Original Image: P03982.jpg
GT: pliers, wrench
pliers, wrench Detection preview by Box_v11_medium_train_SIXray_OPIXray No objects detected Detection preview by DN_Medium_300_yolov8m_20t7_new wrench Detection preview by Segmentatation_v8_medium_train_250 wrench Detection preview by Segmentation_V11_large_300_train_300 wrench Detection preview by Segmentation_v8_large_300_train_300
Original Image: P03983.jpg
GT: wrench
wrench Detection preview by Box_v11_medium_train_SIXray_OPIXray No objects detected Detection preview by DN_Medium_300_yolov8m_20t7_new wrench Detection preview by Segmentatation_v8_medium_train_250 wrench Detection preview by Segmentation_V11_large_300_train_300 wrench Detection preview by Segmentation_v8_large_300_train_300
Original Image: P03984.jpg
GT: wrench
wrench Detection preview by Box_v11_medium_train_SIXray_OPIXray No objects detected Detection preview by DN_Medium_300_yolov8m_20t7_new wrench Detection preview by Segmentatation_v8_medium_train_250 wrench Detection preview by Segmentation_V11_large_300_train_300 wrench Detection preview by Segmentation_v8_large_300_train_300
Original Image: P03985.jpg
GT: pliers
pliers Detection preview by Box_v11_medium_train_SIXray_OPIXray No objects detected Detection preview by DN_Medium_300_yolov8m_20t7_new No objects detected Detection preview by Segmentatation_v8_medium_train_250 No objects detected Detection preview by Segmentation_V11_large_300_train_300 No objects detected Detection preview by Segmentation_v8_large_300_train_300
Original Image: P03986.jpg
GT: pliers, wrench
pliers, wrench Detection preview by Box_v11_medium_train_SIXray_OPIXray No objects detected Detection preview by DN_Medium_300_yolov8m_20t7_new wrench Detection preview by Segmentatation_v8_medium_train_250 wrench Detection preview by Segmentation_V11_large_300_train_300 wrench Detection preview by Segmentation_v8_large_300_train_300
Original Image: P03987.jpg
GT: pliers, wrench
pliers, wrench Detection preview by Box_v11_medium_train_SIXray_OPIXray No objects detected Detection preview by DN_Medium_300_yolov8m_20t7_new wrench Detection preview by Segmentatation_v8_medium_train_250 wrench Detection preview by Segmentation_V11_large_300_train_300 wrench Detection preview by Segmentation_v8_large_300_train_300
Original Image: P03988.jpg
GT: pliers, wrench
pliers, wrench Detection preview by Box_v11_medium_train_SIXray_OPIXray No objects detected Detection preview by DN_Medium_300_yolov8m_20t7_new No objects detected Detection preview by Segmentatation_v8_medium_train_250 No objects detected Detection preview by Segmentation_V11_large_300_train_300 No objects detected Detection preview by Segmentation_v8_large_300_train_300
Original Image: P03989.jpg
GT: pliers, wrench
pliers, wrench Detection preview by Box_v11_medium_train_SIXray_OPIXray No objects detected Detection preview by DN_Medium_300_yolov8m_20t7_new No objects detected Detection preview by Segmentatation_v8_medium_train_250 No objects detected Detection preview by Segmentation_V11_large_300_train_300 No objects detected Detection preview by Segmentation_v8_large_300_train_300
Original Image: P03990.jpg
GT: pliers, wrench
pliers, wrench Detection preview by Box_v11_medium_train_SIXray_OPIXray No objects detected Detection preview by DN_Medium_300_yolov8m_20t7_new wrench Detection preview by Segmentatation_v8_medium_train_250 wrench Detection preview by Segmentation_V11_large_300_train_300 wrench Detection preview by Segmentation_v8_large_300_train_300
Original Image: P03991.jpg
GT: pliers, wrench
pliers, wrench Detection preview by Box_v11_medium_train_SIXray_OPIXray No objects detected Detection preview by DN_Medium_300_yolov8m_20t7_new wrench Detection preview by Segmentatation_v8_medium_train_250 wrench Detection preview by Segmentation_V11_large_300_train_300 wrench Detection preview by Segmentation_v8_large_300_train_300
Original Image: P03992.jpg
GT: pliers
pliers Detection preview by Box_v11_medium_train_SIXray_OPIXray No objects detected Detection preview by DN_Medium_300_yolov8m_20t7_new No objects detected Detection preview by Segmentatation_v8_medium_train_250 No objects detected Detection preview by Segmentation_V11_large_300_train_300 No objects detected Detection preview by Segmentation_v8_large_300_train_300
Original Image: P03993.jpg
GT: pliers
pliers Detection preview by Box_v11_medium_train_SIXray_OPIXray No objects detected Detection preview by DN_Medium_300_yolov8m_20t7_new No objects detected Detection preview by Segmentatation_v8_medium_train_250 No objects detected Detection preview by Segmentation_V11_large_300_train_300 No objects detected Detection preview by Segmentation_v8_large_300_train_300
Original Image: P03994.jpg
GT: pliers
pliers Detection preview by Box_v11_medium_train_SIXray_OPIXray No objects detected Detection preview by DN_Medium_300_yolov8m_20t7_new No objects detected Detection preview by Segmentatation_v8_medium_train_250 No objects detected Detection preview by Segmentation_V11_large_300_train_300 No objects detected Detection preview by Segmentation_v8_large_300_train_300
Original Image: P03995.jpg
GT: pliers
pliers Detection preview by Box_v11_medium_train_SIXray_OPIXray No objects detected Detection preview by DN_Medium_300_yolov8m_20t7_new No objects detected Detection preview by Segmentatation_v8_medium_train_250 No objects detected Detection preview by Segmentation_V11_large_300_train_300 No objects detected Detection preview by Segmentation_v8_large_300_train_300
Original Image: P03996.jpg
GT: pliers
pliers Detection preview by Box_v11_medium_train_SIXray_OPIXray No objects detected Detection preview by DN_Medium_300_yolov8m_20t7_new No objects detected Detection preview by Segmentatation_v8_medium_train_250 No objects detected Detection preview by Segmentation_V11_large_300_train_300 No objects detected Detection preview by Segmentation_v8_large_300_train_300
Original Image: P03997.jpg
GT: pliers
pliers Detection preview by Box_v11_medium_train_SIXray_OPIXray No objects detected Detection preview by DN_Medium_300_yolov8m_20t7_new No objects detected Detection preview by Segmentatation_v8_medium_train_250 No objects detected Detection preview by Segmentation_V11_large_300_train_300 No objects detected Detection preview by Segmentation_v8_large_300_train_300
Original Image: P03998.jpg
GT: pliers
pliers Detection preview by Box_v11_medium_train_SIXray_OPIXray No objects detected Detection preview by DN_Medium_300_yolov8m_20t7_new No objects detected Detection preview by Segmentatation_v8_medium_train_250 No objects detected Detection preview by Segmentation_V11_large_300_train_300 No objects detected Detection preview by Segmentation_v8_large_300_train_300
Original Image: P03999.jpg
GT: pliers
pliers Detection preview by Box_v11_medium_train_SIXray_OPIXray No objects detected Detection preview by DN_Medium_300_yolov8m_20t7_new No objects detected Detection preview by Segmentatation_v8_medium_train_250 No objects detected Detection preview by Segmentation_V11_large_300_train_300 No objects detected Detection preview by Segmentation_v8_large_300_train_300
Original Image: P04000.jpg
GT: pliers
pliers Detection preview by Box_v11_medium_train_SIXray_OPIXray No objects detected Detection preview by DN_Medium_300_yolov8m_20t7_new No objects detected Detection preview by Segmentatation_v8_medium_train_250 No objects detected Detection preview by Segmentation_V11_large_300_train_300 No objects detected Detection preview by Segmentation_v8_large_300_train_300
Original Image: P04001.jpg
GT: pliers
pliers Detection preview by Box_v11_medium_train_SIXray_OPIXray pliers Detection preview by DN_Medium_300_yolov8m_20t7_new No objects detected Detection preview by Segmentatation_v8_medium_train_250 No objects detected Detection preview by Segmentation_V11_large_300_train_300 No objects detected Detection preview by Segmentation_v8_large_300_train_300
Original Image: P04002.jpg
GT: wrench
wrench Detection preview by Box_v11_medium_train_SIXray_OPIXray No objects detected Detection preview by DN_Medium_300_yolov8m_20t7_new wrench Detection preview by Segmentatation_v8_medium_train_250 wrench Detection preview by Segmentation_V11_large_300_train_300 wrench Detection preview by Segmentation_v8_large_300_train_300
Original Image: P04003.jpg
GT: wrench
wrench Detection preview by Box_v11_medium_train_SIXray_OPIXray No objects detected Detection preview by DN_Medium_300_yolov8m_20t7_new wrench Detection preview by Segmentatation_v8_medium_train_250 wrench Detection preview by Segmentation_V11_large_300_train_300 wrench Detection preview by Segmentation_v8_large_300_train_300
Original Image: P04004.jpg
GT: wrench
wrench Detection preview by Box_v11_medium_train_SIXray_OPIXray No objects detected Detection preview by DN_Medium_300_yolov8m_20t7_new wrench Detection preview by Segmentatation_v8_medium_train_250 wrench Detection preview by Segmentation_V11_large_300_train_300 wrench Detection preview by Segmentation_v8_large_300_train_300
Original Image: P04005.jpg
GT: wrench
wrench Detection preview by Box_v11_medium_train_SIXray_OPIXray No objects detected Detection preview by DN_Medium_300_yolov8m_20t7_new wrench Detection preview by Segmentatation_v8_medium_train_250 wrench Detection preview by Segmentation_V11_large_300_train_300 wrench Detection preview by Segmentation_v8_large_300_train_300
Original Image: P04006.jpg
GT: scissors
scissor Detection preview by Box_v11_medium_train_SIXray_OPIXray No objects detected Detection preview by DN_Medium_300_yolov8m_20t7_new scissor Detection preview by Segmentatation_v8_medium_train_250 scissor Detection preview by Segmentation_V11_large_300_train_300 scissor Detection preview by Segmentation_v8_large_300_train_300
Original Image: P04007.jpg
GT: pliers, wrench
pliers, wrench Detection preview by Box_v11_medium_train_SIXray_OPIXray No objects detected Detection preview by DN_Medium_300_yolov8m_20t7_new wrench Detection preview by Segmentatation_v8_medium_train_250 wrench Detection preview by Segmentation_V11_large_300_train_300 wrench Detection preview by Segmentation_v8_large_300_train_300
Original Image: P04008.jpg
GT: scissors
scissor Detection preview by Box_v11_medium_train_SIXray_OPIXray No objects detected Detection preview by DN_Medium_300_yolov8m_20t7_new scissor Detection preview by Segmentatation_v8_medium_train_250 scissor Detection preview by Segmentation_V11_large_300_train_300 scissor Detection preview by Segmentation_v8_large_300_train_300
Original Image: P04009.jpg
GT: pliers
pliers Detection preview by Box_v11_medium_train_SIXray_OPIXray No objects detected Detection preview by DN_Medium_300_yolov8m_20t7_new No objects detected Detection preview by Segmentatation_v8_medium_train_250 No objects detected Detection preview by Segmentation_V11_large_300_train_300 No objects detected Detection preview by Segmentation_v8_large_300_train_300
Original Image: P04010.jpg
GT: pliers, wrench
pliers, wrench Detection preview by Box_v11_medium_train_SIXray_OPIXray No objects detected Detection preview by DN_Medium_300_yolov8m_20t7_new wrench Detection preview by Segmentatation_v8_medium_train_250 wrench Detection preview by Segmentation_V11_large_300_train_300 wrench Detection preview by Segmentation_v8_large_300_train_300
Original Image: P04011.jpg
GT: pliers
pliers Detection preview by Box_v11_medium_train_SIXray_OPIXray No objects detected Detection preview by DN_Medium_300_yolov8m_20t7_new No objects detected Detection preview by Segmentatation_v8_medium_train_250 No objects detected Detection preview by Segmentation_V11_large_300_train_300 No objects detected Detection preview by Segmentation_v8_large_300_train_300
Original Image: P04012.jpg
GT: pliers
pliers Detection preview by Box_v11_medium_train_SIXray_OPIXray No objects detected Detection preview by DN_Medium_300_yolov8m_20t7_new No objects detected Detection preview by Segmentatation_v8_medium_train_250 No objects detected Detection preview by Segmentation_V11_large_300_train_300 No objects detected Detection preview by Segmentation_v8_large_300_train_300
Original Image: P04013.jpg
GT: pliers
pliers Detection preview by Box_v11_medium_train_SIXray_OPIXray No objects detected Detection preview by DN_Medium_300_yolov8m_20t7_new No objects detected Detection preview by Segmentatation_v8_medium_train_250 No objects detected Detection preview by Segmentation_V11_large_300_train_300 No objects detected Detection preview by Segmentation_v8_large_300_train_300
Original Image: P04014.jpg
GT: pliers
pliers Detection preview by Box_v11_medium_train_SIXray_OPIXray pliers Detection preview by DN_Medium_300_yolov8m_20t7_new No objects detected Detection preview by Segmentatation_v8_medium_train_250 No objects detected Detection preview by Segmentation_V11_large_300_train_300 No objects detected Detection preview by Segmentation_v8_large_300_train_300
Original Image: P04015.jpg
GT: pliers
pliers Detection preview by Box_v11_medium_train_SIXray_OPIXray pliers Detection preview by DN_Medium_300_yolov8m_20t7_new No objects detected Detection preview by Segmentatation_v8_medium_train_250 No objects detected Detection preview by Segmentation_V11_large_300_train_300 No objects detected Detection preview by Segmentation_v8_large_300_train_300
Original Image: P04016.jpg
GT: wrench
wrench Detection preview by Box_v11_medium_train_SIXray_OPIXray No objects detected Detection preview by DN_Medium_300_yolov8m_20t7_new wrench Detection preview by Segmentatation_v8_medium_train_250 wrench Detection preview by Segmentation_V11_large_300_train_300 wrench Detection preview by Segmentation_v8_large_300_train_300
Original Image: P04017.jpg
GT: wrench
wrench Detection preview by Box_v11_medium_train_SIXray_OPIXray No objects detected Detection preview by DN_Medium_300_yolov8m_20t7_new wrench Detection preview by Segmentatation_v8_medium_train_250 wrench Detection preview by Segmentation_V11_large_300_train_300 wrench Detection preview by Segmentation_v8_large_300_train_300
Original Image: P04018.jpg
GT: pliers, wrench
pliers, wrench Detection preview by Box_v11_medium_train_SIXray_OPIXray No objects detected Detection preview by DN_Medium_300_yolov8m_20t7_new wrench Detection preview by Segmentatation_v8_medium_train_250 wrench Detection preview by Segmentation_V11_large_300_train_300 wrench Detection preview by Segmentation_v8_large_300_train_300
Original Image: P04019.jpg
GT: pliers, wrench
pliers, wrench Detection preview by Box_v11_medium_train_SIXray_OPIXray No objects detected Detection preview by DN_Medium_300_yolov8m_20t7_new wrench Detection preview by Segmentatation_v8_medium_train_250 wrench Detection preview by Segmentation_V11_large_300_train_300 wrench Detection preview by Segmentation_v8_large_300_train_300
Original Image: P04020.jpg
GT: pliers, wrench
pliers, wrench Detection preview by Box_v11_medium_train_SIXray_OPIXray No objects detected Detection preview by DN_Medium_300_yolov8m_20t7_new wrench Detection preview by Segmentatation_v8_medium_train_250 wrench Detection preview by Segmentation_V11_large_300_train_300 wrench Detection preview by Segmentation_v8_large_300_train_300
Original Image: P04021.jpg
GT: pliers, wrench
pliers, wrench Detection preview by Box_v11_medium_train_SIXray_OPIXray No objects detected Detection preview by DN_Medium_300_yolov8m_20t7_new wrench Detection preview by Segmentatation_v8_medium_train_250 wrench Detection preview by Segmentation_V11_large_300_train_300 wrench Detection preview by Segmentation_v8_large_300_train_300
Original Image: P04022.jpg
GT: pliers
pliers Detection preview by Box_v11_medium_train_SIXray_OPIXray pliers Detection preview by DN_Medium_300_yolov8m_20t7_new No objects detected Detection preview by Segmentatation_v8_medium_train_250 No objects detected Detection preview by Segmentation_V11_large_300_train_300 No objects detected Detection preview by Segmentation_v8_large_300_train_300
Original Image: P04023.jpg
GT: pliers
pliers Detection preview by Box_v11_medium_train_SIXray_OPIXray No objects detected Detection preview by DN_Medium_300_yolov8m_20t7_new No objects detected Detection preview by Segmentatation_v8_medium_train_250 No objects detected Detection preview by Segmentation_V11_large_300_train_300 No objects detected Detection preview by Segmentation_v8_large_300_train_300
Original Image: P04024.jpg
GT: scissors
scissor Detection preview by Box_v11_medium_train_SIXray_OPIXray No objects detected Detection preview by DN_Medium_300_yolov8m_20t7_new scissor Detection preview by Segmentatation_v8_medium_train_250 scissor Detection preview by Segmentation_V11_large_300_train_300 scissor Detection preview by Segmentation_v8_large_300_train_300
Original Image: P04025.jpg
GT: scissors
scissor Detection preview by Box_v11_medium_train_SIXray_OPIXray No objects detected Detection preview by DN_Medium_300_yolov8m_20t7_new scissor Detection preview by Segmentatation_v8_medium_train_250 scissor Detection preview by Segmentation_V11_large_300_train_300 scissor Detection preview by Segmentation_v8_large_300_train_300
Original Image: P04026.jpg
GT: scissors
scissor Detection preview by Box_v11_medium_train_SIXray_OPIXray No objects detected Detection preview by DN_Medium_300_yolov8m_20t7_new scissor Detection preview by Segmentatation_v8_medium_train_250 scissor Detection preview by Segmentation_V11_large_300_train_300 scissor Detection preview by Segmentation_v8_large_300_train_300
Original Image: P04027.jpg
GT: scissors
scissor Detection preview by Box_v11_medium_train_SIXray_OPIXray No objects detected Detection preview by DN_Medium_300_yolov8m_20t7_new scissor Detection preview by Segmentatation_v8_medium_train_250 scissor Detection preview by Segmentation_V11_large_300_train_300 scissor Detection preview by Segmentation_v8_large_300_train_300
Original Image: P04028.jpg
GT: pliers, wrench
pliers, wrench Detection preview by Box_v11_medium_train_SIXray_OPIXray pliers Detection preview by DN_Medium_300_yolov8m_20t7_new wrench Detection preview by Segmentatation_v8_medium_train_250 wrench Detection preview by Segmentation_V11_large_300_train_300 wrench Detection preview by Segmentation_v8_large_300_train_300
Original Image: P04029.jpg
GT: pliers, wrench
pliers, wrench Detection preview by Box_v11_medium_train_SIXray_OPIXray No objects detected Detection preview by DN_Medium_300_yolov8m_20t7_new wrench Detection preview by Segmentatation_v8_medium_train_250 wrench Detection preview by Segmentation_V11_large_300_train_300 wrench Detection preview by Segmentation_v8_large_300_train_300
Original Image: P04030.jpg
GT: scissors
scissor Detection preview by Box_v11_medium_train_SIXray_OPIXray No objects detected Detection preview by DN_Medium_300_yolov8m_20t7_new scissor Detection preview by Segmentatation_v8_medium_train_250 scissor Detection preview by Segmentation_V11_large_300_train_300 scissor Detection preview by Segmentation_v8_large_300_train_300
Original Image: P04031.jpg
GT: scissors
scissor Detection preview by Box_v11_medium_train_SIXray_OPIXray No objects detected Detection preview by DN_Medium_300_yolov8m_20t7_new scissor Detection preview by Segmentatation_v8_medium_train_250 scissor Detection preview by Segmentation_V11_large_300_train_300 scissor Detection preview by Segmentation_v8_large_300_train_300
Original Image: P04032.jpg
GT: scissors
scissor Detection preview by Box_v11_medium_train_SIXray_OPIXray No objects detected Detection preview by DN_Medium_300_yolov8m_20t7_new scissor Detection preview by Segmentatation_v8_medium_train_250 scissor Detection preview by Segmentation_V11_large_300_train_300 scissor Detection preview by Segmentation_v8_large_300_train_300
Original Image: P04033.jpg
GT: scissors
scissor Detection preview by Box_v11_medium_train_SIXray_OPIXray No objects detected Detection preview by DN_Medium_300_yolov8m_20t7_new scissor Detection preview by Segmentatation_v8_medium_train_250 scissor Detection preview by Segmentation_V11_large_300_train_300 scissor Detection preview by Segmentation_v8_large_300_train_300
Original Image: P04034.jpg
GT: scissors
scissor Detection preview by Box_v11_medium_train_SIXray_OPIXray No objects detected Detection preview by DN_Medium_300_yolov8m_20t7_new scissor Detection preview by Segmentatation_v8_medium_train_250 scissor Detection preview by Segmentation_V11_large_300_train_300 scissor Detection preview by Segmentation_v8_large_300_train_300
Original Image: P04035.jpg
GT: pliers
pliers Detection preview by Box_v11_medium_train_SIXray_OPIXray No objects detected Detection preview by DN_Medium_300_yolov8m_20t7_new No objects detected Detection preview by Segmentatation_v8_medium_train_250 No objects detected Detection preview by Segmentation_V11_large_300_train_300 No objects detected Detection preview by Segmentation_v8_large_300_train_300
Original Image: P04036.jpg
GT: pliers
pliers Detection preview by Box_v11_medium_train_SIXray_OPIXray No objects detected Detection preview by DN_Medium_300_yolov8m_20t7_new No objects detected Detection preview by Segmentatation_v8_medium_train_250 No objects detected Detection preview by Segmentation_V11_large_300_train_300 No objects detected Detection preview by Segmentation_v8_large_300_train_300
Original Image: P04037.jpg
GT: pliers, wrench
pliers, wrench Detection preview by Box_v11_medium_train_SIXray_OPIXray No objects detected Detection preview by DN_Medium_300_yolov8m_20t7_new wrench Detection preview by Segmentatation_v8_medium_train_250 wrench Detection preview by Segmentation_V11_large_300_train_300 wrench Detection preview by Segmentation_v8_large_300_train_300
Original Image: P04038.jpg
GT: pliers, wrench
pliers, wrench Detection preview by Box_v11_medium_train_SIXray_OPIXray No objects detected Detection preview by DN_Medium_300_yolov8m_20t7_new wrench Detection preview by Segmentatation_v8_medium_train_250 wrench Detection preview by Segmentation_V11_large_300_train_300 wrench Detection preview by Segmentation_v8_large_300_train_300
Original Image: P04039.jpg
GT: pliers
pliers Detection preview by Box_v11_medium_train_SIXray_OPIXray No objects detected Detection preview by DN_Medium_300_yolov8m_20t7_new No objects detected Detection preview by Segmentatation_v8_medium_train_250 No objects detected Detection preview by Segmentation_V11_large_300_train_300 No objects detected Detection preview by Segmentation_v8_large_300_train_300
Original Image: P04040.jpg
GT: pliers
pliers Detection preview by Box_v11_medium_train_SIXray_OPIXray No objects detected Detection preview by DN_Medium_300_yolov8m_20t7_new No objects detected Detection preview by Segmentatation_v8_medium_train_250 No objects detected Detection preview by Segmentation_V11_large_300_train_300 No objects detected Detection preview by Segmentation_v8_large_300_train_300
Original Image: P04041.jpg
GT: pliers
pliers Detection preview by Box_v11_medium_train_SIXray_OPIXray No objects detected Detection preview by DN_Medium_300_yolov8m_20t7_new No objects detected Detection preview by Segmentatation_v8_medium_train_250 No objects detected Detection preview by Segmentation_V11_large_300_train_300 No objects detected Detection preview by Segmentation_v8_large_300_train_300
Original Image: P04042.jpg
GT: scissors
scissor Detection preview by Box_v11_medium_train_SIXray_OPIXray No objects detected Detection preview by DN_Medium_300_yolov8m_20t7_new scissor Detection preview by Segmentatation_v8_medium_train_250 scissor Detection preview by Segmentation_V11_large_300_train_300 scissor Detection preview by Segmentation_v8_large_300_train_300
Original Image: P04043.jpg
GT: scissors
scissor Detection preview by Box_v11_medium_train_SIXray_OPIXray No objects detected Detection preview by DN_Medium_300_yolov8m_20t7_new scissor Detection preview by Segmentatation_v8_medium_train_250 scissor Detection preview by Segmentation_V11_large_300_train_300 scissor Detection preview by Segmentation_v8_large_300_train_300
Original Image: P04044.jpg
GT: scissors
scissor Detection preview by Box_v11_medium_train_SIXray_OPIXray No objects detected Detection preview by DN_Medium_300_yolov8m_20t7_new scissor Detection preview by Segmentatation_v8_medium_train_250 scissor Detection preview by Segmentation_V11_large_300_train_300 scissor Detection preview by Segmentation_v8_large_300_train_300
Original Image: P04045.jpg
GT: wrench
wrench Detection preview by Box_v11_medium_train_SIXray_OPIXray No objects detected Detection preview by DN_Medium_300_yolov8m_20t7_new wrench Detection preview by Segmentatation_v8_medium_train_250 wrench Detection preview by Segmentation_V11_large_300_train_300 wrench Detection preview by Segmentation_v8_large_300_train_300
Original Image: P04046.jpg
GT: wrench
wrench Detection preview by Box_v11_medium_train_SIXray_OPIXray No objects detected Detection preview by DN_Medium_300_yolov8m_20t7_new wrench Detection preview by Segmentatation_v8_medium_train_250 wrench Detection preview by Segmentation_V11_large_300_train_300 wrench Detection preview by Segmentation_v8_large_300_train_300
Original Image: P04047.jpg
GT: wrench
wrench Detection preview by Box_v11_medium_train_SIXray_OPIXray No objects detected Detection preview by DN_Medium_300_yolov8m_20t7_new wrench Detection preview by Segmentatation_v8_medium_train_250 wrench Detection preview by Segmentation_V11_large_300_train_300 wrench Detection preview by Segmentation_v8_large_300_train_300
Original Image: P04048.jpg
GT: pliers, wrench
pliers, wrench Detection preview by Box_v11_medium_train_SIXray_OPIXray pliers Detection preview by DN_Medium_300_yolov8m_20t7_new wrench Detection preview by Segmentatation_v8_medium_train_250 wrench Detection preview by Segmentation_V11_large_300_train_300 wrench Detection preview by Segmentation_v8_large_300_train_300
Original Image: P04049.jpg
GT: pliers, wrench
pliers, wrench Detection preview by Box_v11_medium_train_SIXray_OPIXray No objects detected Detection preview by DN_Medium_300_yolov8m_20t7_new wrench Detection preview by Segmentatation_v8_medium_train_250 wrench Detection preview by Segmentation_V11_large_300_train_300 wrench Detection preview by Segmentation_v8_large_300_train_300
Original Image: P04050.jpg
GT: knife
knife Detection preview by Box_v11_medium_train_SIXray_OPIXray No objects detected Detection preview by DN_Medium_300_yolov8m_20t7_new knife Detection preview by Segmentatation_v8_medium_train_250 knife Detection preview by Segmentation_V11_large_300_train_300 knife Detection preview by Segmentation_v8_large_300_train_300
Original Image: P04051.jpg
GT: knife
knife Detection preview by Box_v11_medium_train_SIXray_OPIXray No objects detected Detection preview by DN_Medium_300_yolov8m_20t7_new knife Detection preview by Segmentatation_v8_medium_train_250 knife Detection preview by Segmentation_V11_large_300_train_300 knife Detection preview by Segmentation_v8_large_300_train_300
Original Image: P04052.jpg
GT: knife
knife Detection preview by Box_v11_medium_train_SIXray_OPIXray No objects detected Detection preview by DN_Medium_300_yolov8m_20t7_new knife Detection preview by Segmentatation_v8_medium_train_250 knife Detection preview by Segmentation_V11_large_300_train_300 knife Detection preview by Segmentation_v8_large_300_train_300
Original Image: P04053.jpg
GT: knife
knife Detection preview by Box_v11_medium_train_SIXray_OPIXray No objects detected Detection preview by DN_Medium_300_yolov8m_20t7_new knife Detection preview by Segmentatation_v8_medium_train_250 knife Detection preview by Segmentation_V11_large_300_train_300 knife Detection preview by Segmentation_v8_large_300_train_300
Original Image: P04054.jpg
GT: knife
knife Detection preview by Box_v11_medium_train_SIXray_OPIXray knife Detection preview by DN_Medium_300_yolov8m_20t7_new knife Detection preview by Segmentatation_v8_medium_train_250 knife Detection preview by Segmentation_V11_large_300_train_300 knife Detection preview by Segmentation_v8_large_300_train_300
Original Image: P04055.jpg
GT: knife
knife Detection preview by Box_v11_medium_train_SIXray_OPIXray knife Detection preview by DN_Medium_300_yolov8m_20t7_new knife Detection preview by Segmentatation_v8_medium_train_250 knife Detection preview by Segmentation_V11_large_300_train_300 knife Detection preview by Segmentation_v8_large_300_train_300
Original Image: P04056.jpg
GT: knife
knife Detection preview by Box_v11_medium_train_SIXray_OPIXray No objects detected Detection preview by DN_Medium_300_yolov8m_20t7_new knife Detection preview by Segmentatation_v8_medium_train_250 knife Detection preview by Segmentation_V11_large_300_train_300 knife Detection preview by Segmentation_v8_large_300_train_300
Original Image: P04057.jpg
GT: knife
knife Detection preview by Box_v11_medium_train_SIXray_OPIXray No objects detected Detection preview by DN_Medium_300_yolov8m_20t7_new knife Detection preview by Segmentatation_v8_medium_train_250 knife Detection preview by Segmentation_V11_large_300_train_300 knife Detection preview by Segmentation_v8_large_300_train_300
Original Image: P04058.jpg
GT: knife
knife Detection preview by Box_v11_medium_train_SIXray_OPIXray No objects detected Detection preview by DN_Medium_300_yolov8m_20t7_new knife Detection preview by Segmentatation_v8_medium_train_250 knife Detection preview by Segmentation_V11_large_300_train_300 knife Detection preview by Segmentation_v8_large_300_train_300
Original Image: P04059.jpg
GT: scissors
scissor Detection preview by Box_v11_medium_train_SIXray_OPIXray scissor Detection preview by DN_Medium_300_yolov8m_20t7_new scissor Detection preview by Segmentatation_v8_medium_train_250 scissor Detection preview by Segmentation_V11_large_300_train_300 scissor Detection preview by Segmentation_v8_large_300_train_300
Original Image: P04060.jpg
GT: scissors
scissor Detection preview by Box_v11_medium_train_SIXray_OPIXray No objects detected Detection preview by DN_Medium_300_yolov8m_20t7_new scissor Detection preview by Segmentatation_v8_medium_train_250 scissor Detection preview by Segmentation_V11_large_300_train_300 scissor Detection preview by Segmentation_v8_large_300_train_300
Original Image: P04061.jpg
GT: pliers, wrench
pliers, wrench Detection preview by Box_v11_medium_train_SIXray_OPIXray No objects detected Detection preview by DN_Medium_300_yolov8m_20t7_new wrench Detection preview by Segmentatation_v8_medium_train_250 wrench Detection preview by Segmentation_V11_large_300_train_300 wrench Detection preview by Segmentation_v8_large_300_train_300
Original Image: P04062.jpg
GT: pliers
pliers Detection preview by Box_v11_medium_train_SIXray_OPIXray No objects detected Detection preview by DN_Medium_300_yolov8m_20t7_new No objects detected Detection preview by Segmentatation_v8_medium_train_250 No objects detected Detection preview by Segmentation_V11_large_300_train_300 No objects detected Detection preview by Segmentation_v8_large_300_train_300
Original Image: P04063.jpg
GT: pliers
pliers Detection preview by Box_v11_medium_train_SIXray_OPIXray No objects detected Detection preview by DN_Medium_300_yolov8m_20t7_new No objects detected Detection preview by Segmentatation_v8_medium_train_250 No objects detected Detection preview by Segmentation_V11_large_300_train_300 No objects detected Detection preview by Segmentation_v8_large_300_train_300
Original Image: P04064.jpg
GT: pliers
pliers Detection preview by Box_v11_medium_train_SIXray_OPIXray No objects detected Detection preview by DN_Medium_300_yolov8m_20t7_new No objects detected Detection preview by Segmentatation_v8_medium_train_250 No objects detected Detection preview by Segmentation_V11_large_300_train_300 No objects detected Detection preview by Segmentation_v8_large_300_train_300
Original Image: P04065.jpg
GT: pliers
pliers Detection preview by Box_v11_medium_train_SIXray_OPIXray No objects detected Detection preview by DN_Medium_300_yolov8m_20t7_new No objects detected Detection preview by Segmentatation_v8_medium_train_250 No objects detected Detection preview by Segmentation_V11_large_300_train_300 No objects detected Detection preview by Segmentation_v8_large_300_train_300
Original Image: P04066.jpg
GT: wrench
wrench Detection preview by Box_v11_medium_train_SIXray_OPIXray No objects detected Detection preview by DN_Medium_300_yolov8m_20t7_new wrench Detection preview by Segmentatation_v8_medium_train_250 wrench Detection preview by Segmentation_V11_large_300_train_300 wrench Detection preview by Segmentation_v8_large_300_train_300
Original Image: P04067.jpg
GT: pliers
pliers Detection preview by Box_v11_medium_train_SIXray_OPIXray No objects detected Detection preview by DN_Medium_300_yolov8m_20t7_new No objects detected Detection preview by Segmentatation_v8_medium_train_250 No objects detected Detection preview by Segmentation_V11_large_300_train_300 No objects detected Detection preview by Segmentation_v8_large_300_train_300
Original Image: P04068.jpg
GT: pliers
pliers Detection preview by Box_v11_medium_train_SIXray_OPIXray No objects detected Detection preview by DN_Medium_300_yolov8m_20t7_new No objects detected Detection preview by Segmentatation_v8_medium_train_250 No objects detected Detection preview by Segmentation_V11_large_300_train_300 No objects detected Detection preview by Segmentation_v8_large_300_train_300
Original Image: P04069.jpg
GT: pliers
pliers Detection preview by Box_v11_medium_train_SIXray_OPIXray No objects detected Detection preview by DN_Medium_300_yolov8m_20t7_new No objects detected Detection preview by Segmentatation_v8_medium_train_250 No objects detected Detection preview by Segmentation_V11_large_300_train_300 No objects detected Detection preview by Segmentation_v8_large_300_train_300
Original Image: P04070.jpg
GT: scissors
scissor Detection preview by Box_v11_medium_train_SIXray_OPIXray No objects detected Detection preview by DN_Medium_300_yolov8m_20t7_new scissor Detection preview by Segmentatation_v8_medium_train_250 scissor Detection preview by Segmentation_V11_large_300_train_300 scissor Detection preview by Segmentation_v8_large_300_train_300
Original Image: P04071.jpg
GT: scissors
scissor Detection preview by Box_v11_medium_train_SIXray_OPIXray No objects detected Detection preview by DN_Medium_300_yolov8m_20t7_new scissor Detection preview by Segmentatation_v8_medium_train_250 scissor Detection preview by Segmentation_V11_large_300_train_300 scissor Detection preview by Segmentation_v8_large_300_train_300
Original Image: P04072.jpg
GT: scissors
scissor Detection preview by Box_v11_medium_train_SIXray_OPIXray No objects detected Detection preview by DN_Medium_300_yolov8m_20t7_new scissor Detection preview by Segmentatation_v8_medium_train_250 scissor Detection preview by Segmentation_V11_large_300_train_300 scissor Detection preview by Segmentation_v8_large_300_train_300
Original Image: P04073.jpg
GT: scissors
scissor Detection preview by Box_v11_medium_train_SIXray_OPIXray No objects detected Detection preview by DN_Medium_300_yolov8m_20t7_new scissor Detection preview by Segmentatation_v8_medium_train_250 scissor Detection preview by Segmentation_V11_large_300_train_300 scissor Detection preview by Segmentation_v8_large_300_train_300
Original Image: P04074.jpg
GT: scissors
scissor Detection preview by Box_v11_medium_train_SIXray_OPIXray No objects detected Detection preview by DN_Medium_300_yolov8m_20t7_new scissor Detection preview by Segmentatation_v8_medium_train_250 scissor Detection preview by Segmentation_V11_large_300_train_300 scissor Detection preview by Segmentation_v8_large_300_train_300
Original Image: P04075.jpg
GT: pliers
pliers Detection preview by Box_v11_medium_train_SIXray_OPIXray pliers Detection preview by DN_Medium_300_yolov8m_20t7_new No objects detected Detection preview by Segmentatation_v8_medium_train_250 No objects detected Detection preview by Segmentation_V11_large_300_train_300 No objects detected Detection preview by Segmentation_v8_large_300_train_300
Original Image: P04076.jpg
GT: pliers
pliers Detection preview by Box_v11_medium_train_SIXray_OPIXray No objects detected Detection preview by DN_Medium_300_yolov8m_20t7_new wrench Detection preview by Segmentatation_v8_medium_train_250 No objects detected Detection preview by Segmentation_V11_large_300_train_300 No objects detected Detection preview by Segmentation_v8_large_300_train_300
Original Image: P04077.jpg
GT: wrench
wrench Detection preview by Box_v11_medium_train_SIXray_OPIXray No objects detected Detection preview by DN_Medium_300_yolov8m_20t7_new wrench Detection preview by Segmentatation_v8_medium_train_250 wrench Detection preview by Segmentation_V11_large_300_train_300 wrench Detection preview by Segmentation_v8_large_300_train_300
Original Image: P04078.jpg
GT: wrench
wrench Detection preview by Box_v11_medium_train_SIXray_OPIXray No objects detected Detection preview by DN_Medium_300_yolov8m_20t7_new wrench Detection preview by Segmentatation_v8_medium_train_250 wrench Detection preview by Segmentation_V11_large_300_train_300 wrench Detection preview by Segmentation_v8_large_300_train_300
Original Image: P04079.jpg
GT: wrench
wrench Detection preview by Box_v11_medium_train_SIXray_OPIXray No objects detected Detection preview by DN_Medium_300_yolov8m_20t7_new wrench Detection preview by Segmentatation_v8_medium_train_250 wrench Detection preview by Segmentation_V11_large_300_train_300 wrench Detection preview by Segmentation_v8_large_300_train_300
Original Image: P04080.jpg
GT: wrench
wrench Detection preview by Box_v11_medium_train_SIXray_OPIXray No objects detected Detection preview by DN_Medium_300_yolov8m_20t7_new wrench Detection preview by Segmentatation_v8_medium_train_250 wrench Detection preview by Segmentation_V11_large_300_train_300 wrench Detection preview by Segmentation_v8_large_300_train_300
Original Image: P04081.jpg
GT: pliers
pliers Detection preview by Box_v11_medium_train_SIXray_OPIXray No objects detected Detection preview by DN_Medium_300_yolov8m_20t7_new No objects detected Detection preview by Segmentatation_v8_medium_train_250 No objects detected Detection preview by Segmentation_V11_large_300_train_300 No objects detected Detection preview by Segmentation_v8_large_300_train_300
Original Image: P04082.jpg
GT: pliers
pliers Detection preview by Box_v11_medium_train_SIXray_OPIXray No objects detected Detection preview by DN_Medium_300_yolov8m_20t7_new No objects detected Detection preview by Segmentatation_v8_medium_train_250 No objects detected Detection preview by Segmentation_V11_large_300_train_300 No objects detected Detection preview by Segmentation_v8_large_300_train_300
Original Image: P04083.jpg
GT: pliers
pliers Detection preview by Box_v11_medium_train_SIXray_OPIXray No objects detected Detection preview by DN_Medium_300_yolov8m_20t7_new No objects detected Detection preview by Segmentatation_v8_medium_train_250 No objects detected Detection preview by Segmentation_V11_large_300_train_300 No objects detected Detection preview by Segmentation_v8_large_300_train_300
Original Image: P04084.jpg
GT: pliers
pliers Detection preview by Box_v11_medium_train_SIXray_OPIXray No objects detected Detection preview by DN_Medium_300_yolov8m_20t7_new No objects detected Detection preview by Segmentatation_v8_medium_train_250 No objects detected Detection preview by Segmentation_V11_large_300_train_300 No objects detected Detection preview by Segmentation_v8_large_300_train_300
Original Image: P04085.jpg
GT: pliers
pliers Detection preview by Box_v11_medium_train_SIXray_OPIXray No objects detected Detection preview by DN_Medium_300_yolov8m_20t7_new No objects detected Detection preview by Segmentatation_v8_medium_train_250 No objects detected Detection preview by Segmentation_V11_large_300_train_300 No objects detected Detection preview by Segmentation_v8_large_300_train_300
Original Image: P04086.jpg
GT: pliers
pliers Detection preview by Box_v11_medium_train_SIXray_OPIXray No objects detected Detection preview by DN_Medium_300_yolov8m_20t7_new No objects detected Detection preview by Segmentatation_v8_medium_train_250 No objects detected Detection preview by Segmentation_V11_large_300_train_300 No objects detected Detection preview by Segmentation_v8_large_300_train_300
Original Image: P04087.jpg
GT: wrench
wrench Detection preview by Box_v11_medium_train_SIXray_OPIXray No objects detected Detection preview by DN_Medium_300_yolov8m_20t7_new wrench Detection preview by Segmentatation_v8_medium_train_250 wrench Detection preview by Segmentation_V11_large_300_train_300 wrench Detection preview by Segmentation_v8_large_300_train_300
Original Image: P04088.jpg
GT: knife, wrench
knife, wrench Detection preview by Box_v11_medium_train_SIXray_OPIXray No objects detected Detection preview by DN_Medium_300_yolov8m_20t7_new knife, wrench Detection preview by Segmentatation_v8_medium_train_250 knife, wrench Detection preview by Segmentation_V11_large_300_train_300 knife, wrench Detection preview by Segmentation_v8_large_300_train_300
Original Image: P04089.jpg
GT: knife, wrench
knife, wrench Detection preview by Box_v11_medium_train_SIXray_OPIXray No objects detected Detection preview by DN_Medium_300_yolov8m_20t7_new knife, wrench Detection preview by Segmentatation_v8_medium_train_250 knife, wrench Detection preview by Segmentation_V11_large_300_train_300 knife, wrench Detection preview by Segmentation_v8_large_300_train_300
Original Image: P04090.jpg
GT: knife, wrench
knife, wrench Detection preview by Box_v11_medium_train_SIXray_OPIXray No objects detected Detection preview by DN_Medium_300_yolov8m_20t7_new knife, wrench Detection preview by Segmentatation_v8_medium_train_250 knife, wrench Detection preview by Segmentation_V11_large_300_train_300 knife, wrench Detection preview by Segmentation_v8_large_300_train_300
Original Image: P04091.jpg
GT: pliers
pliers Detection preview by Box_v11_medium_train_SIXray_OPIXray No objects detected Detection preview by DN_Medium_300_yolov8m_20t7_new No objects detected Detection preview by Segmentatation_v8_medium_train_250 No objects detected Detection preview by Segmentation_V11_large_300_train_300 No objects detected Detection preview by Segmentation_v8_large_300_train_300
Original Image: P04092.jpg
GT: pliers
pliers Detection preview by Box_v11_medium_train_SIXray_OPIXray No objects detected Detection preview by DN_Medium_300_yolov8m_20t7_new No objects detected Detection preview by Segmentatation_v8_medium_train_250 No objects detected Detection preview by Segmentation_V11_large_300_train_300 No objects detected Detection preview by Segmentation_v8_large_300_train_300
Original Image: P04093.jpg
GT: pliers
pliers Detection preview by Box_v11_medium_train_SIXray_OPIXray No objects detected Detection preview by DN_Medium_300_yolov8m_20t7_new No objects detected Detection preview by Segmentatation_v8_medium_train_250 No objects detected Detection preview by Segmentation_V11_large_300_train_300 No objects detected Detection preview by Segmentation_v8_large_300_train_300
Original Image: P04094.jpg
GT: pliers
pliers Detection preview by Box_v11_medium_train_SIXray_OPIXray No objects detected Detection preview by DN_Medium_300_yolov8m_20t7_new No objects detected Detection preview by Segmentatation_v8_medium_train_250 No objects detected Detection preview by Segmentation_V11_large_300_train_300 No objects detected Detection preview by Segmentation_v8_large_300_train_300
Original Image: P04095.jpg
GT: pliers
pliers Detection preview by Box_v11_medium_train_SIXray_OPIXray No objects detected Detection preview by DN_Medium_300_yolov8m_20t7_new No objects detected Detection preview by Segmentatation_v8_medium_train_250 No objects detected Detection preview by Segmentation_V11_large_300_train_300 No objects detected Detection preview by Segmentation_v8_large_300_train_300
Original Image: P04096.jpg
GT: scissors
scissor Detection preview by Box_v11_medium_train_SIXray_OPIXray scissor Detection preview by DN_Medium_300_yolov8m_20t7_new scissor Detection preview by Segmentatation_v8_medium_train_250 scissor Detection preview by Segmentation_V11_large_300_train_300 scissor Detection preview by Segmentation_v8_large_300_train_300
Original Image: P04097.jpg
GT: scissors
scissor Detection preview by Box_v11_medium_train_SIXray_OPIXray No objects detected Detection preview by DN_Medium_300_yolov8m_20t7_new scissor Detection preview by Segmentatation_v8_medium_train_250 scissor Detection preview by Segmentation_V11_large_300_train_300 scissor Detection preview by Segmentation_v8_large_300_train_300
Original Image: P04098.jpg
GT: pliers
pliers Detection preview by Box_v11_medium_train_SIXray_OPIXray No objects detected Detection preview by DN_Medium_300_yolov8m_20t7_new No objects detected Detection preview by Segmentatation_v8_medium_train_250 No objects detected Detection preview by Segmentation_V11_large_300_train_300 No objects detected Detection preview by Segmentation_v8_large_300_train_300
Original Image: P04099.jpg
GT: pliers
pliers Detection preview by Box_v11_medium_train_SIXray_OPIXray No objects detected Detection preview by DN_Medium_300_yolov8m_20t7_new No objects detected Detection preview by Segmentatation_v8_medium_train_250 No objects detected Detection preview by Segmentation_V11_large_300_train_300 No objects detected Detection preview by Segmentation_v8_large_300_train_300
Original Image: P04100.jpg
GT: pliers
pliers Detection preview by Box_v11_medium_train_SIXray_OPIXray No objects detected Detection preview by DN_Medium_300_yolov8m_20t7_new No objects detected Detection preview by Segmentatation_v8_medium_train_250 No objects detected Detection preview by Segmentation_V11_large_300_train_300 No objects detected Detection preview by Segmentation_v8_large_300_train_300
Original Image: P04101.jpg
GT: pliers
pliers Detection preview by Box_v11_medium_train_SIXray_OPIXray No objects detected Detection preview by DN_Medium_300_yolov8m_20t7_new No objects detected Detection preview by Segmentatation_v8_medium_train_250 No objects detected Detection preview by Segmentation_V11_large_300_train_300 No objects detected Detection preview by Segmentation_v8_large_300_train_300
Original Image: P04102.jpg
GT: pliers
pliers Detection preview by Box_v11_medium_train_SIXray_OPIXray No objects detected Detection preview by DN_Medium_300_yolov8m_20t7_new No objects detected Detection preview by Segmentatation_v8_medium_train_250 No objects detected Detection preview by Segmentation_V11_large_300_train_300 No objects detected Detection preview by Segmentation_v8_large_300_train_300
Original Image: P04103.jpg
GT: scissors
scissor Detection preview by Box_v11_medium_train_SIXray_OPIXray No objects detected Detection preview by DN_Medium_300_yolov8m_20t7_new scissor Detection preview by Segmentatation_v8_medium_train_250 scissor Detection preview by Segmentation_V11_large_300_train_300 scissor Detection preview by Segmentation_v8_large_300_train_300
Original Image: P04104.jpg
GT: pliers
pliers Detection preview by Box_v11_medium_train_SIXray_OPIXray pliers Detection preview by DN_Medium_300_yolov8m_20t7_new No objects detected Detection preview by Segmentatation_v8_medium_train_250 No objects detected Detection preview by Segmentation_V11_large_300_train_300 No objects detected Detection preview by Segmentation_v8_large_300_train_300
Original Image: P04105.jpg
GT: pliers
pliers Detection preview by Box_v11_medium_train_SIXray_OPIXray No objects detected Detection preview by DN_Medium_300_yolov8m_20t7_new No objects detected Detection preview by Segmentatation_v8_medium_train_250 No objects detected Detection preview by Segmentation_V11_large_300_train_300 No objects detected Detection preview by Segmentation_v8_large_300_train_300
Original Image: P04106.jpg
GT: pliers
pliers Detection preview by Box_v11_medium_train_SIXray_OPIXray No objects detected Detection preview by DN_Medium_300_yolov8m_20t7_new No objects detected Detection preview by Segmentatation_v8_medium_train_250 No objects detected Detection preview by Segmentation_V11_large_300_train_300 No objects detected Detection preview by Segmentation_v8_large_300_train_300
Original Image: P04107.jpg
GT: scissors
scissor Detection preview by Box_v11_medium_train_SIXray_OPIXray No objects detected Detection preview by DN_Medium_300_yolov8m_20t7_new scissor Detection preview by Segmentatation_v8_medium_train_250 scissor Detection preview by Segmentation_V11_large_300_train_300 scissor Detection preview by Segmentation_v8_large_300_train_300
Original Image: P04108.jpg
GT: knife
knife Detection preview by Box_v11_medium_train_SIXray_OPIXray No objects detected Detection preview by DN_Medium_300_yolov8m_20t7_new knife Detection preview by Segmentatation_v8_medium_train_250 knife Detection preview by Segmentation_V11_large_300_train_300 knife Detection preview by Segmentation_v8_large_300_train_300
Original Image: P04109.jpg
GT: knife
knife Detection preview by Box_v11_medium_train_SIXray_OPIXray No objects detected Detection preview by DN_Medium_300_yolov8m_20t7_new knife Detection preview by Segmentatation_v8_medium_train_250 knife Detection preview by Segmentation_V11_large_300_train_300 knife Detection preview by Segmentation_v8_large_300_train_300
Original Image: P04110.jpg
GT: pliers
pliers Detection preview by Box_v11_medium_train_SIXray_OPIXray No objects detected Detection preview by DN_Medium_300_yolov8m_20t7_new No objects detected Detection preview by Segmentatation_v8_medium_train_250 No objects detected Detection preview by Segmentation_V11_large_300_train_300 No objects detected Detection preview by Segmentation_v8_large_300_train_300
Original Image: P04111.jpg
GT: pliers
pliers Detection preview by Box_v11_medium_train_SIXray_OPIXray No objects detected Detection preview by DN_Medium_300_yolov8m_20t7_new No objects detected Detection preview by Segmentatation_v8_medium_train_250 No objects detected Detection preview by Segmentation_V11_large_300_train_300 No objects detected Detection preview by Segmentation_v8_large_300_train_300
Original Image: P04112.jpg
GT: pliers
pliers Detection preview by Box_v11_medium_train_SIXray_OPIXray No objects detected Detection preview by DN_Medium_300_yolov8m_20t7_new No objects detected Detection preview by Segmentatation_v8_medium_train_250 No objects detected Detection preview by Segmentation_V11_large_300_train_300 No objects detected Detection preview by Segmentation_v8_large_300_train_300
Original Image: P04113.jpg
GT: pliers
pliers Detection preview by Box_v11_medium_train_SIXray_OPIXray No objects detected Detection preview by DN_Medium_300_yolov8m_20t7_new No objects detected Detection preview by Segmentatation_v8_medium_train_250 No objects detected Detection preview by Segmentation_V11_large_300_train_300 No objects detected Detection preview by Segmentation_v8_large_300_train_300
Original Image: P04114.jpg
GT: knife
knife Detection preview by Box_v11_medium_train_SIXray_OPIXray No objects detected Detection preview by DN_Medium_300_yolov8m_20t7_new knife Detection preview by Segmentatation_v8_medium_train_250 knife Detection preview by Segmentation_V11_large_300_train_300 knife Detection preview by Segmentation_v8_large_300_train_300
Original Image: P04115.jpg
GT: knife
knife Detection preview by Box_v11_medium_train_SIXray_OPIXray No objects detected Detection preview by DN_Medium_300_yolov8m_20t7_new knife Detection preview by Segmentatation_v8_medium_train_250 knife Detection preview by Segmentation_V11_large_300_train_300 knife Detection preview by Segmentation_v8_large_300_train_300
Original Image: P04116.jpg
GT: knife
knife Detection preview by Box_v11_medium_train_SIXray_OPIXray No objects detected Detection preview by DN_Medium_300_yolov8m_20t7_new knife Detection preview by Segmentatation_v8_medium_train_250 knife Detection preview by Segmentation_V11_large_300_train_300 knife Detection preview by Segmentation_v8_large_300_train_300
Original Image: P04117.jpg
GT: wrench
wrench Detection preview by Box_v11_medium_train_SIXray_OPIXray No objects detected Detection preview by DN_Medium_300_yolov8m_20t7_new wrench Detection preview by Segmentatation_v8_medium_train_250 wrench Detection preview by Segmentation_V11_large_300_train_300 wrench Detection preview by Segmentation_v8_large_300_train_300
Original Image: P04118.jpg
GT: wrench
wrench Detection preview by Box_v11_medium_train_SIXray_OPIXray No objects detected Detection preview by DN_Medium_300_yolov8m_20t7_new wrench Detection preview by Segmentatation_v8_medium_train_250 wrench Detection preview by Segmentation_V11_large_300_train_300 wrench Detection preview by Segmentation_v8_large_300_train_300
Original Image: P04119.jpg
GT: pliers
pliers Detection preview by Box_v11_medium_train_SIXray_OPIXray No objects detected Detection preview by DN_Medium_300_yolov8m_20t7_new No objects detected Detection preview by Segmentatation_v8_medium_train_250 No objects detected Detection preview by Segmentation_V11_large_300_train_300 No objects detected Detection preview by Segmentation_v8_large_300_train_300
Original Image: P04120.jpg
GT: pliers
pliers Detection preview by Box_v11_medium_train_SIXray_OPIXray No objects detected Detection preview by DN_Medium_300_yolov8m_20t7_new No objects detected Detection preview by Segmentatation_v8_medium_train_250 No objects detected Detection preview by Segmentation_V11_large_300_train_300 No objects detected Detection preview by Segmentation_v8_large_300_train_300
Original Image: P04121.jpg
GT: pliers
pliers Detection preview by Box_v11_medium_train_SIXray_OPIXray pliers Detection preview by DN_Medium_300_yolov8m_20t7_new No objects detected Detection preview by Segmentatation_v8_medium_train_250 No objects detected Detection preview by Segmentation_V11_large_300_train_300 No objects detected Detection preview by Segmentation_v8_large_300_train_300
Original Image: P04122.jpg
GT: pliers
pliers Detection preview by Box_v11_medium_train_SIXray_OPIXray pliers Detection preview by DN_Medium_300_yolov8m_20t7_new No objects detected Detection preview by Segmentatation_v8_medium_train_250 No objects detected Detection preview by Segmentation_V11_large_300_train_300 No objects detected Detection preview by Segmentation_v8_large_300_train_300
Original Image: P04123.jpg
GT: pliers
pliers Detection preview by Box_v11_medium_train_SIXray_OPIXray pliers Detection preview by DN_Medium_300_yolov8m_20t7_new No objects detected Detection preview by Segmentatation_v8_medium_train_250 No objects detected Detection preview by Segmentation_V11_large_300_train_300 No objects detected Detection preview by Segmentation_v8_large_300_train_300
Original Image: P04124.jpg
GT: pliers
pliers Detection preview by Box_v11_medium_train_SIXray_OPIXray pliers Detection preview by DN_Medium_300_yolov8m_20t7_new No objects detected Detection preview by Segmentatation_v8_medium_train_250 No objects detected Detection preview by Segmentation_V11_large_300_train_300 No objects detected Detection preview by Segmentation_v8_large_300_train_300
Original Image: P04125.jpg
GT: pliers, wrench
pliers, wrench Detection preview by Box_v11_medium_train_SIXray_OPIXray No objects detected Detection preview by DN_Medium_300_yolov8m_20t7_new No objects detected Detection preview by Segmentatation_v8_medium_train_250 No objects detected Detection preview by Segmentation_V11_large_300_train_300 No objects detected Detection preview by Segmentation_v8_large_300_train_300
Original Image: P04126.jpg
GT: knife
knife Detection preview by Box_v11_medium_train_SIXray_OPIXray No objects detected Detection preview by DN_Medium_300_yolov8m_20t7_new No objects detected Detection preview by Segmentatation_v8_medium_train_250 No objects detected Detection preview by Segmentation_V11_large_300_train_300 No objects detected Detection preview by Segmentation_v8_large_300_train_300
Original Image: P04127.jpg
GT: pliers
pliers Detection preview by Box_v11_medium_train_SIXray_OPIXray pliers Detection preview by DN_Medium_300_yolov8m_20t7_new No objects detected Detection preview by Segmentatation_v8_medium_train_250 No objects detected Detection preview by Segmentation_V11_large_300_train_300 No objects detected Detection preview by Segmentation_v8_large_300_train_300
Original Image: P04128.jpg
GT: pliers
pliers Detection preview by Box_v11_medium_train_SIXray_OPIXray pliers Detection preview by DN_Medium_300_yolov8m_20t7_new No objects detected Detection preview by Segmentatation_v8_medium_train_250 No objects detected Detection preview by Segmentation_V11_large_300_train_300 No objects detected Detection preview by Segmentation_v8_large_300_train_300
Original Image: P04129.jpg
GT: pliers
pliers Detection preview by Box_v11_medium_train_SIXray_OPIXray pliers Detection preview by DN_Medium_300_yolov8m_20t7_new No objects detected Detection preview by Segmentatation_v8_medium_train_250 No objects detected Detection preview by Segmentation_V11_large_300_train_300 No objects detected Detection preview by Segmentation_v8_large_300_train_300
Original Image: P04130.jpg
GT: pliers
pliers Detection preview by Box_v11_medium_train_SIXray_OPIXray pliers Detection preview by DN_Medium_300_yolov8m_20t7_new No objects detected Detection preview by Segmentatation_v8_medium_train_250 No objects detected Detection preview by Segmentation_V11_large_300_train_300 No objects detected Detection preview by Segmentation_v8_large_300_train_300
Original Image: P04131.jpg
GT: pliers
pliers Detection preview by Box_v11_medium_train_SIXray_OPIXray pliers Detection preview by DN_Medium_300_yolov8m_20t7_new No objects detected Detection preview by Segmentatation_v8_medium_train_250 No objects detected Detection preview by Segmentation_V11_large_300_train_300 No objects detected Detection preview by Segmentation_v8_large_300_train_300
Original Image: P04132.jpg
GT: scissors
scissor Detection preview by Box_v11_medium_train_SIXray_OPIXray No objects detected Detection preview by DN_Medium_300_yolov8m_20t7_new scissor Detection preview by Segmentatation_v8_medium_train_250 scissor Detection preview by Segmentation_V11_large_300_train_300 scissor Detection preview by Segmentation_v8_large_300_train_300
Original Image: P04133.jpg
GT: pliers
pliers Detection preview by Box_v11_medium_train_SIXray_OPIXray pliers Detection preview by DN_Medium_300_yolov8m_20t7_new No objects detected Detection preview by Segmentatation_v8_medium_train_250 No objects detected Detection preview by Segmentation_V11_large_300_train_300 No objects detected Detection preview by Segmentation_v8_large_300_train_300
Original Image: P04134.jpg
GT: pliers
pliers Detection preview by Box_v11_medium_train_SIXray_OPIXray pliers Detection preview by DN_Medium_300_yolov8m_20t7_new No objects detected Detection preview by Segmentatation_v8_medium_train_250 No objects detected Detection preview by Segmentation_V11_large_300_train_300 No objects detected Detection preview by Segmentation_v8_large_300_train_300
Original Image: P04135.jpg
GT: pliers
pliers Detection preview by Box_v11_medium_train_SIXray_OPIXray pliers Detection preview by DN_Medium_300_yolov8m_20t7_new No objects detected Detection preview by Segmentatation_v8_medium_train_250 No objects detected Detection preview by Segmentation_V11_large_300_train_300 No objects detected Detection preview by Segmentation_v8_large_300_train_300
Original Image: P04136.jpg
GT: pliers
pliers Detection preview by Box_v11_medium_train_SIXray_OPIXray pliers Detection preview by DN_Medium_300_yolov8m_20t7_new No objects detected Detection preview by Segmentatation_v8_medium_train_250 No objects detected Detection preview by Segmentation_V11_large_300_train_300 No objects detected Detection preview by Segmentation_v8_large_300_train_300
Original Image: P04137.jpg
GT: pliers
pliers Detection preview by Box_v11_medium_train_SIXray_OPIXray pliers Detection preview by DN_Medium_300_yolov8m_20t7_new No objects detected Detection preview by Segmentatation_v8_medium_train_250 No objects detected Detection preview by Segmentation_V11_large_300_train_300 No objects detected Detection preview by Segmentation_v8_large_300_train_300
Original Image: P04138.jpg
GT: pliers
pliers Detection preview by Box_v11_medium_train_SIXray_OPIXray pliers Detection preview by DN_Medium_300_yolov8m_20t7_new No objects detected Detection preview by Segmentatation_v8_medium_train_250 No objects detected Detection preview by Segmentation_V11_large_300_train_300 No objects detected Detection preview by Segmentation_v8_large_300_train_300
Original Image: P04139.jpg
GT: pliers
pliers Detection preview by Box_v11_medium_train_SIXray_OPIXray pliers Detection preview by DN_Medium_300_yolov8m_20t7_new No objects detected Detection preview by Segmentatation_v8_medium_train_250 No objects detected Detection preview by Segmentation_V11_large_300_train_300 No objects detected Detection preview by Segmentation_v8_large_300_train_300
Original Image: P04140.jpg
GT: wrench
wrench Detection preview by Box_v11_medium_train_SIXray_OPIXray No objects detected Detection preview by DN_Medium_300_yolov8m_20t7_new wrench Detection preview by Segmentatation_v8_medium_train_250 wrench Detection preview by Segmentation_V11_large_300_train_300 wrench Detection preview by Segmentation_v8_large_300_train_300
Original Image: P04141.jpg
GT: pliers
pliers Detection preview by Box_v11_medium_train_SIXray_OPIXray No objects detected Detection preview by DN_Medium_300_yolov8m_20t7_new No objects detected Detection preview by Segmentatation_v8_medium_train_250 No objects detected Detection preview by Segmentation_V11_large_300_train_300 No objects detected Detection preview by Segmentation_v8_large_300_train_300
Original Image: P04142.jpg
GT: pliers
pliers Detection preview by Box_v11_medium_train_SIXray_OPIXray No objects detected Detection preview by DN_Medium_300_yolov8m_20t7_new No objects detected Detection preview by Segmentatation_v8_medium_train_250 No objects detected Detection preview by Segmentation_V11_large_300_train_300 No objects detected Detection preview by Segmentation_v8_large_300_train_300
Original Image: P04143.jpg
GT: pliers
pliers Detection preview by Box_v11_medium_train_SIXray_OPIXray No objects detected Detection preview by DN_Medium_300_yolov8m_20t7_new No objects detected Detection preview by Segmentatation_v8_medium_train_250 No objects detected Detection preview by Segmentation_V11_large_300_train_300 No objects detected Detection preview by Segmentation_v8_large_300_train_300
Original Image: P04144.jpg
GT: pliers
pliers Detection preview by Box_v11_medium_train_SIXray_OPIXray No objects detected Detection preview by DN_Medium_300_yolov8m_20t7_new No objects detected Detection preview by Segmentatation_v8_medium_train_250 No objects detected Detection preview by Segmentation_V11_large_300_train_300 No objects detected Detection preview by Segmentation_v8_large_300_train_300
Original Image: P04145.jpg
GT: pliers, wrench
pliers, wrench Detection preview by Box_v11_medium_train_SIXray_OPIXray No objects detected Detection preview by DN_Medium_300_yolov8m_20t7_new wrench Detection preview by Segmentatation_v8_medium_train_250 wrench Detection preview by Segmentation_V11_large_300_train_300 wrench Detection preview by Segmentation_v8_large_300_train_300
Original Image: P04146.jpg
GT: pliers
pliers Detection preview by Box_v11_medium_train_SIXray_OPIXray No objects detected Detection preview by DN_Medium_300_yolov8m_20t7_new No objects detected Detection preview by Segmentatation_v8_medium_train_250 No objects detected Detection preview by Segmentation_V11_large_300_train_300 No objects detected Detection preview by Segmentation_v8_large_300_train_300
Original Image: P04147.jpg
GT: pliers
pliers Detection preview by Box_v11_medium_train_SIXray_OPIXray No objects detected Detection preview by DN_Medium_300_yolov8m_20t7_new No objects detected Detection preview by Segmentatation_v8_medium_train_250 No objects detected Detection preview by Segmentation_V11_large_300_train_300 No objects detected Detection preview by Segmentation_v8_large_300_train_300
Original Image: P04148.jpg
GT: wrench
wrench Detection preview by Box_v11_medium_train_SIXray_OPIXray No objects detected Detection preview by DN_Medium_300_yolov8m_20t7_new wrench Detection preview by Segmentatation_v8_medium_train_250 wrench Detection preview by Segmentation_V11_large_300_train_300 wrench Detection preview by Segmentation_v8_large_300_train_300
Original Image: P04149.jpg
GT: wrench
wrench Detection preview by Box_v11_medium_train_SIXray_OPIXray No objects detected Detection preview by DN_Medium_300_yolov8m_20t7_new wrench Detection preview by Segmentatation_v8_medium_train_250 wrench Detection preview by Segmentation_V11_large_300_train_300 wrench Detection preview by Segmentation_v8_large_300_train_300
Original Image: P04150.jpg
GT: wrench
wrench Detection preview by Box_v11_medium_train_SIXray_OPIXray No objects detected Detection preview by DN_Medium_300_yolov8m_20t7_new wrench Detection preview by Segmentatation_v8_medium_train_250 wrench Detection preview by Segmentation_V11_large_300_train_300 wrench Detection preview by Segmentation_v8_large_300_train_300
Original Image: P04151.jpg
GT: wrench
wrench Detection preview by Box_v11_medium_train_SIXray_OPIXray No objects detected Detection preview by DN_Medium_300_yolov8m_20t7_new wrench Detection preview by Segmentatation_v8_medium_train_250 wrench Detection preview by Segmentation_V11_large_300_train_300 wrench Detection preview by Segmentation_v8_large_300_train_300
Original Image: P04152.jpg
GT: wrench
wrench Detection preview by Box_v11_medium_train_SIXray_OPIXray No objects detected Detection preview by DN_Medium_300_yolov8m_20t7_new wrench Detection preview by Segmentatation_v8_medium_train_250 wrench Detection preview by Segmentation_V11_large_300_train_300 wrench Detection preview by Segmentation_v8_large_300_train_300
Original Image: P04153.jpg
GT: wrench
wrench Detection preview by Box_v11_medium_train_SIXray_OPIXray No objects detected Detection preview by DN_Medium_300_yolov8m_20t7_new wrench Detection preview by Segmentatation_v8_medium_train_250 wrench Detection preview by Segmentation_V11_large_300_train_300 wrench Detection preview by Segmentation_v8_large_300_train_300
Original Image: P04154.jpg
GT: wrench
wrench Detection preview by Box_v11_medium_train_SIXray_OPIXray No objects detected Detection preview by DN_Medium_300_yolov8m_20t7_new wrench Detection preview by Segmentatation_v8_medium_train_250 wrench Detection preview by Segmentation_V11_large_300_train_300 wrench Detection preview by Segmentation_v8_large_300_train_300
Original Image: P04155.jpg
GT: wrench
wrench Detection preview by Box_v11_medium_train_SIXray_OPIXray No objects detected Detection preview by DN_Medium_300_yolov8m_20t7_new wrench Detection preview by Segmentatation_v8_medium_train_250 wrench Detection preview by Segmentation_V11_large_300_train_300 wrench Detection preview by Segmentation_v8_large_300_train_300
Original Image: P04156.jpg
GT: wrench
wrench Detection preview by Box_v11_medium_train_SIXray_OPIXray No objects detected Detection preview by DN_Medium_300_yolov8m_20t7_new wrench Detection preview by Segmentatation_v8_medium_train_250 wrench Detection preview by Segmentation_V11_large_300_train_300 wrench Detection preview by Segmentation_v8_large_300_train_300
Original Image: P04157.jpg
GT: wrench
wrench Detection preview by Box_v11_medium_train_SIXray_OPIXray No objects detected Detection preview by DN_Medium_300_yolov8m_20t7_new wrench Detection preview by Segmentatation_v8_medium_train_250 wrench Detection preview by Segmentation_V11_large_300_train_300 wrench Detection preview by Segmentation_v8_large_300_train_300
Original Image: P04158.jpg
GT: pliers
pliers Detection preview by Box_v11_medium_train_SIXray_OPIXray No objects detected Detection preview by DN_Medium_300_yolov8m_20t7_new No objects detected Detection preview by Segmentatation_v8_medium_train_250 No objects detected Detection preview by Segmentation_V11_large_300_train_300 No objects detected Detection preview by Segmentation_v8_large_300_train_300
Original Image: P04159.jpg
GT: pliers
pliers Detection preview by Box_v11_medium_train_SIXray_OPIXray pliers Detection preview by DN_Medium_300_yolov8m_20t7_new No objects detected Detection preview by Segmentatation_v8_medium_train_250 No objects detected Detection preview by Segmentation_V11_large_300_train_300 No objects detected Detection preview by Segmentation_v8_large_300_train_300
Original Image: P04160.jpg
GT: scissors
scissor Detection preview by Box_v11_medium_train_SIXray_OPIXray No objects detected Detection preview by DN_Medium_300_yolov8m_20t7_new scissor Detection preview by Segmentatation_v8_medium_train_250 scissor Detection preview by Segmentation_V11_large_300_train_300 scissor Detection preview by Segmentation_v8_large_300_train_300
Original Image: P04161.jpg
GT: scissors
scissor Detection preview by Box_v11_medium_train_SIXray_OPIXray scissor Detection preview by DN_Medium_300_yolov8m_20t7_new scissor Detection preview by Segmentatation_v8_medium_train_250 scissor Detection preview by Segmentation_V11_large_300_train_300 scissor Detection preview by Segmentation_v8_large_300_train_300
Original Image: P04162.jpg
GT: pliers
pliers Detection preview by Box_v11_medium_train_SIXray_OPIXray pliers Detection preview by DN_Medium_300_yolov8m_20t7_new No objects detected Detection preview by Segmentatation_v8_medium_train_250 No objects detected Detection preview by Segmentation_V11_large_300_train_300 No objects detected Detection preview by Segmentation_v8_large_300_train_300
Original Image: P04163.jpg
GT: pliers
pliers Detection preview by Box_v11_medium_train_SIXray_OPIXray pliers Detection preview by DN_Medium_300_yolov8m_20t7_new No objects detected Detection preview by Segmentatation_v8_medium_train_250 No objects detected Detection preview by Segmentation_V11_large_300_train_300 No objects detected Detection preview by Segmentation_v8_large_300_train_300
Original Image: P04164.jpg
GT: pliers
pliers Detection preview by Box_v11_medium_train_SIXray_OPIXray pliers Detection preview by DN_Medium_300_yolov8m_20t7_new No objects detected Detection preview by Segmentatation_v8_medium_train_250 No objects detected Detection preview by Segmentation_V11_large_300_train_300 No objects detected Detection preview by Segmentation_v8_large_300_train_300
Original Image: P04165.jpg
GT: knife
knife Detection preview by Box_v11_medium_train_SIXray_OPIXray No objects detected Detection preview by DN_Medium_300_yolov8m_20t7_new scissor Detection preview by Segmentatation_v8_medium_train_250 scissor Detection preview by Segmentation_V11_large_300_train_300 scissor Detection preview by Segmentation_v8_large_300_train_300
Original Image: P04166.jpg
GT: knife
knife Detection preview by Box_v11_medium_train_SIXray_OPIXray No objects detected Detection preview by DN_Medium_300_yolov8m_20t7_new scissor Detection preview by Segmentatation_v8_medium_train_250 scissor Detection preview by Segmentation_V11_large_300_train_300 scissor Detection preview by Segmentation_v8_large_300_train_300
Original Image: P04167.jpg
GT: knife
knife Detection preview by Box_v11_medium_train_SIXray_OPIXray No objects detected Detection preview by DN_Medium_300_yolov8m_20t7_new scissor Detection preview by Segmentatation_v8_medium_train_250 scissor Detection preview by Segmentation_V11_large_300_train_300 scissor Detection preview by Segmentation_v8_large_300_train_300
Original Image: P04168.jpg
GT: pliers
pliers Detection preview by Box_v11_medium_train_SIXray_OPIXray pliers Detection preview by DN_Medium_300_yolov8m_20t7_new No objects detected Detection preview by Segmentatation_v8_medium_train_250 No objects detected Detection preview by Segmentation_V11_large_300_train_300 No objects detected Detection preview by Segmentation_v8_large_300_train_300
Original Image: P04169.jpg
GT: pliers
pliers Detection preview by Box_v11_medium_train_SIXray_OPIXray No objects detected Detection preview by DN_Medium_300_yolov8m_20t7_new wrench Detection preview by Segmentatation_v8_medium_train_250 wrench Detection preview by Segmentation_V11_large_300_train_300 wrench Detection preview by Segmentation_v8_large_300_train_300
Original Image: P04170.jpg
GT: wrench
wrench Detection preview by Box_v11_medium_train_SIXray_OPIXray No objects detected Detection preview by DN_Medium_300_yolov8m_20t7_new wrench Detection preview by Segmentatation_v8_medium_train_250 wrench Detection preview by Segmentation_V11_large_300_train_300 wrench Detection preview by Segmentation_v8_large_300_train_300
Original Image: P04171.jpg
GT: wrench
wrench Detection preview by Box_v11_medium_train_SIXray_OPIXray No objects detected Detection preview by DN_Medium_300_yolov8m_20t7_new wrench Detection preview by Segmentatation_v8_medium_train_250 wrench Detection preview by Segmentation_V11_large_300_train_300 wrench Detection preview by Segmentation_v8_large_300_train_300
Original Image: P04172.jpg
GT: wrench
wrench Detection preview by Box_v11_medium_train_SIXray_OPIXray No objects detected Detection preview by DN_Medium_300_yolov8m_20t7_new wrench Detection preview by Segmentatation_v8_medium_train_250 wrench Detection preview by Segmentation_V11_large_300_train_300 wrench Detection preview by Segmentation_v8_large_300_train_300
Original Image: P04173.jpg
GT: pliers, wrench
pliers, wrench Detection preview by Box_v11_medium_train_SIXray_OPIXray No objects detected Detection preview by DN_Medium_300_yolov8m_20t7_new scissor, wrench Detection preview by Segmentatation_v8_medium_train_250 wrench Detection preview by Segmentation_V11_large_300_train_300 wrench Detection preview by Segmentation_v8_large_300_train_300
Original Image: P04174.jpg
GT: pliers, wrench
pliers, wrench Detection preview by Box_v11_medium_train_SIXray_OPIXray No objects detected Detection preview by DN_Medium_300_yolov8m_20t7_new wrench Detection preview by Segmentatation_v8_medium_train_250 wrench Detection preview by Segmentation_V11_large_300_train_300 wrench Detection preview by Segmentation_v8_large_300_train_300
Original Image: P04175.jpg
GT: pliers, wrench
pliers, wrench Detection preview by Box_v11_medium_train_SIXray_OPIXray No objects detected Detection preview by DN_Medium_300_yolov8m_20t7_new wrench Detection preview by Segmentatation_v8_medium_train_250 wrench Detection preview by Segmentation_V11_large_300_train_300 wrench Detection preview by Segmentation_v8_large_300_train_300
Original Image: P04176.jpg
GT: pliers, wrench
pliers, wrench Detection preview by Box_v11_medium_train_SIXray_OPIXray No objects detected Detection preview by DN_Medium_300_yolov8m_20t7_new wrench Detection preview by Segmentatation_v8_medium_train_250 wrench Detection preview by Segmentation_V11_large_300_train_300 wrench Detection preview by Segmentation_v8_large_300_train_300
Original Image: P04177.jpg
GT: pliers
pliers Detection preview by Box_v11_medium_train_SIXray_OPIXray No objects detected Detection preview by DN_Medium_300_yolov8m_20t7_new No objects detected Detection preview by Segmentatation_v8_medium_train_250 No objects detected Detection preview by Segmentation_V11_large_300_train_300 No objects detected Detection preview by Segmentation_v8_large_300_train_300
Original Image: P04178.jpg
GT: pliers
pliers Detection preview by Box_v11_medium_train_SIXray_OPIXray No objects detected Detection preview by DN_Medium_300_yolov8m_20t7_new No objects detected Detection preview by Segmentatation_v8_medium_train_250 No objects detected Detection preview by Segmentation_V11_large_300_train_300 No objects detected Detection preview by Segmentation_v8_large_300_train_300
Original Image: P04179.jpg
GT: pliers
pliers Detection preview by Box_v11_medium_train_SIXray_OPIXray No objects detected Detection preview by DN_Medium_300_yolov8m_20t7_new No objects detected Detection preview by Segmentatation_v8_medium_train_250 No objects detected Detection preview by Segmentation_V11_large_300_train_300 No objects detected Detection preview by Segmentation_v8_large_300_train_300
Original Image: P04180.jpg
GT: pliers
pliers Detection preview by Box_v11_medium_train_SIXray_OPIXray No objects detected Detection preview by DN_Medium_300_yolov8m_20t7_new No objects detected Detection preview by Segmentatation_v8_medium_train_250 No objects detected Detection preview by Segmentation_V11_large_300_train_300 No objects detected Detection preview by Segmentation_v8_large_300_train_300
Original Image: P04181.jpg
GT: pliers
pliers Detection preview by Box_v11_medium_train_SIXray_OPIXray No objects detected Detection preview by DN_Medium_300_yolov8m_20t7_new No objects detected Detection preview by Segmentatation_v8_medium_train_250 No objects detected Detection preview by Segmentation_V11_large_300_train_300 No objects detected Detection preview by Segmentation_v8_large_300_train_300
Original Image: P04182.jpg
GT: pliers
pliers Detection preview by Box_v11_medium_train_SIXray_OPIXray No objects detected Detection preview by DN_Medium_300_yolov8m_20t7_new No objects detected Detection preview by Segmentatation_v8_medium_train_250 No objects detected Detection preview by Segmentation_V11_large_300_train_300 No objects detected Detection preview by Segmentation_v8_large_300_train_300
Original Image: P04183.jpg
GT: knife
knife Detection preview by Box_v11_medium_train_SIXray_OPIXray No objects detected Detection preview by DN_Medium_300_yolov8m_20t7_new scissor Detection preview by Segmentatation_v8_medium_train_250 No objects detected Detection preview by Segmentation_V11_large_300_train_300 No objects detected Detection preview by Segmentation_v8_large_300_train_300
Original Image: P04184.jpg
GT: pliers
pliers Detection preview by Box_v11_medium_train_SIXray_OPIXray No objects detected Detection preview by DN_Medium_300_yolov8m_20t7_new No objects detected Detection preview by Segmentatation_v8_medium_train_250 No objects detected Detection preview by Segmentation_V11_large_300_train_300 No objects detected Detection preview by Segmentation_v8_large_300_train_300
Original Image: P04185.jpg
GT: pliers
pliers Detection preview by Box_v11_medium_train_SIXray_OPIXray pliers Detection preview by DN_Medium_300_yolov8m_20t7_new No objects detected Detection preview by Segmentatation_v8_medium_train_250 No objects detected Detection preview by Segmentation_V11_large_300_train_300 No objects detected Detection preview by Segmentation_v8_large_300_train_300
Original Image: P04186.jpg
GT: pliers
pliers Detection preview by Box_v11_medium_train_SIXray_OPIXray pliers Detection preview by DN_Medium_300_yolov8m_20t7_new No objects detected Detection preview by Segmentatation_v8_medium_train_250 No objects detected Detection preview by Segmentation_V11_large_300_train_300 No objects detected Detection preview by Segmentation_v8_large_300_train_300
Original Image: P04187.jpg
GT: pliers, scissors
pliers, scissor Detection preview by Box_v11_medium_train_SIXray_OPIXray No objects detected Detection preview by DN_Medium_300_yolov8m_20t7_new scissor Detection preview by Segmentatation_v8_medium_train_250 scissor Detection preview by Segmentation_V11_large_300_train_300 scissor Detection preview by Segmentation_v8_large_300_train_300
Original Image: P04188.jpg
GT: pliers, scissors
pliers, scissor Detection preview by Box_v11_medium_train_SIXray_OPIXray No objects detected Detection preview by DN_Medium_300_yolov8m_20t7_new scissor Detection preview by Segmentatation_v8_medium_train_250 scissor Detection preview by Segmentation_V11_large_300_train_300 scissor Detection preview by Segmentation_v8_large_300_train_300
Original Image: P04189.jpg
GT: pliers, scissors
pliers, scissor Detection preview by Box_v11_medium_train_SIXray_OPIXray No objects detected Detection preview by DN_Medium_300_yolov8m_20t7_new scissor Detection preview by Segmentatation_v8_medium_train_250 scissor Detection preview by Segmentation_V11_large_300_train_300 scissor Detection preview by Segmentation_v8_large_300_train_300
Original Image: P04190.jpg
GT: pliers, wrench
pliers, wrench Detection preview by Box_v11_medium_train_SIXray_OPIXray No objects detected Detection preview by DN_Medium_300_yolov8m_20t7_new wrench Detection preview by Segmentatation_v8_medium_train_250 wrench Detection preview by Segmentation_V11_large_300_train_300 wrench Detection preview by Segmentation_v8_large_300_train_300
Original Image: P04191.jpg
GT: knife
knife Detection preview by Box_v11_medium_train_SIXray_OPIXray No objects detected Detection preview by DN_Medium_300_yolov8m_20t7_new knife Detection preview by Segmentatation_v8_medium_train_250 knife Detection preview by Segmentation_V11_large_300_train_300 knife Detection preview by Segmentation_v8_large_300_train_300
Original Image: P04192.jpg
GT: knife
knife Detection preview by Box_v11_medium_train_SIXray_OPIXray No objects detected Detection preview by DN_Medium_300_yolov8m_20t7_new knife Detection preview by Segmentatation_v8_medium_train_250 knife Detection preview by Segmentation_V11_large_300_train_300 knife Detection preview by Segmentation_v8_large_300_train_300
Original Image: P04193.jpg
GT: pliers
pliers Detection preview by Box_v11_medium_train_SIXray_OPIXray No objects detected Detection preview by DN_Medium_300_yolov8m_20t7_new No objects detected Detection preview by Segmentatation_v8_medium_train_250 No objects detected Detection preview by Segmentation_V11_large_300_train_300 knife Detection preview by Segmentation_v8_large_300_train_300
Original Image: P04194.jpg
GT: pliers
pliers Detection preview by Box_v11_medium_train_SIXray_OPIXray No objects detected Detection preview by DN_Medium_300_yolov8m_20t7_new knife Detection preview by Segmentatation_v8_medium_train_250 knife Detection preview by Segmentation_V11_large_300_train_300 No objects detected Detection preview by Segmentation_v8_large_300_train_300
Original Image: P04195.jpg
GT: wrench
wrench Detection preview by Box_v11_medium_train_SIXray_OPIXray No objects detected Detection preview by DN_Medium_300_yolov8m_20t7_new wrench Detection preview by Segmentatation_v8_medium_train_250 wrench Detection preview by Segmentation_V11_large_300_train_300 wrench Detection preview by Segmentation_v8_large_300_train_300
Original Image: P04196.jpg
GT: wrench
wrench Detection preview by Box_v11_medium_train_SIXray_OPIXray No objects detected Detection preview by DN_Medium_300_yolov8m_20t7_new wrench Detection preview by Segmentatation_v8_medium_train_250 wrench Detection preview by Segmentation_V11_large_300_train_300 wrench Detection preview by Segmentation_v8_large_300_train_300
Original Image: P04197.jpg
GT: wrench
wrench Detection preview by Box_v11_medium_train_SIXray_OPIXray No objects detected Detection preview by DN_Medium_300_yolov8m_20t7_new wrench Detection preview by Segmentatation_v8_medium_train_250 wrench Detection preview by Segmentation_V11_large_300_train_300 wrench Detection preview by Segmentation_v8_large_300_train_300
Original Image: P04198.jpg
GT: pliers, wrench
pliers, wrench Detection preview by Box_v11_medium_train_SIXray_OPIXray No objects detected Detection preview by DN_Medium_300_yolov8m_20t7_new wrench Detection preview by Segmentatation_v8_medium_train_250 wrench Detection preview by Segmentation_V11_large_300_train_300 wrench Detection preview by Segmentation_v8_large_300_train_300
Original Image: P04199.jpg
GT: pliers
pliers Detection preview by Box_v11_medium_train_SIXray_OPIXray pliers Detection preview by DN_Medium_300_yolov8m_20t7_new No objects detected Detection preview by Segmentatation_v8_medium_train_250 No objects detected Detection preview by Segmentation_V11_large_300_train_300 No objects detected Detection preview by Segmentation_v8_large_300_train_300
Original Image: P04200.jpg
GT: pliers
pliers Detection preview by Box_v11_medium_train_SIXray_OPIXray pliers Detection preview by DN_Medium_300_yolov8m_20t7_new No objects detected Detection preview by Segmentatation_v8_medium_train_250 No objects detected Detection preview by Segmentation_V11_large_300_train_300 No objects detected Detection preview by Segmentation_v8_large_300_train_300
Original Image: P04201.jpg
GT: pliers
pliers Detection preview by Box_v11_medium_train_SIXray_OPIXray No objects detected Detection preview by DN_Medium_300_yolov8m_20t7_new No objects detected Detection preview by Segmentatation_v8_medium_train_250 No objects detected Detection preview by Segmentation_V11_large_300_train_300 No objects detected Detection preview by Segmentation_v8_large_300_train_300
Original Image: P04202.jpg
GT: pliers
pliers Detection preview by Box_v11_medium_train_SIXray_OPIXray No objects detected Detection preview by DN_Medium_300_yolov8m_20t7_new No objects detected Detection preview by Segmentatation_v8_medium_train_250 No objects detected Detection preview by Segmentation_V11_large_300_train_300 No objects detected Detection preview by Segmentation_v8_large_300_train_300
Original Image: P04203.jpg
GT: pliers
pliers Detection preview by Box_v11_medium_train_SIXray_OPIXray No objects detected Detection preview by DN_Medium_300_yolov8m_20t7_new No objects detected Detection preview by Segmentatation_v8_medium_train_250 No objects detected Detection preview by Segmentation_V11_large_300_train_300 No objects detected Detection preview by Segmentation_v8_large_300_train_300
Original Image: P04204.jpg
GT: pliers
pliers Detection preview by Box_v11_medium_train_SIXray_OPIXray No objects detected Detection preview by DN_Medium_300_yolov8m_20t7_new No objects detected Detection preview by Segmentatation_v8_medium_train_250 No objects detected Detection preview by Segmentation_V11_large_300_train_300 No objects detected Detection preview by Segmentation_v8_large_300_train_300
Original Image: P04205.jpg
GT: pliers
pliers Detection preview by Box_v11_medium_train_SIXray_OPIXray No objects detected Detection preview by DN_Medium_300_yolov8m_20t7_new No objects detected Detection preview by Segmentatation_v8_medium_train_250 No objects detected Detection preview by Segmentation_V11_large_300_train_300 No objects detected Detection preview by Segmentation_v8_large_300_train_300
Original Image: P04206.jpg
GT: pliers
pliers Detection preview by Box_v11_medium_train_SIXray_OPIXray No objects detected Detection preview by DN_Medium_300_yolov8m_20t7_new wrench Detection preview by Segmentatation_v8_medium_train_250 wrench Detection preview by Segmentation_V11_large_300_train_300 wrench Detection preview by Segmentation_v8_large_300_train_300
Original Image: P04207.jpg
GT: scissors
scissor Detection preview by Box_v11_medium_train_SIXray_OPIXray No objects detected Detection preview by DN_Medium_300_yolov8m_20t7_new scissor Detection preview by Segmentatation_v8_medium_train_250 scissor Detection preview by Segmentation_V11_large_300_train_300 scissor Detection preview by Segmentation_v8_large_300_train_300
Original Image: P04208.jpg
GT: pliers
pliers Detection preview by Box_v11_medium_train_SIXray_OPIXray No objects detected Detection preview by DN_Medium_300_yolov8m_20t7_new No objects detected Detection preview by Segmentatation_v8_medium_train_250 No objects detected Detection preview by Segmentation_V11_large_300_train_300 No objects detected Detection preview by Segmentation_v8_large_300_train_300
Original Image: P04209.jpg
GT: pliers
pliers Detection preview by Box_v11_medium_train_SIXray_OPIXray No objects detected Detection preview by DN_Medium_300_yolov8m_20t7_new No objects detected Detection preview by Segmentatation_v8_medium_train_250 No objects detected Detection preview by Segmentation_V11_large_300_train_300 No objects detected Detection preview by Segmentation_v8_large_300_train_300
Original Image: P04210.jpg
GT: pliers
pliers Detection preview by Box_v11_medium_train_SIXray_OPIXray No objects detected Detection preview by DN_Medium_300_yolov8m_20t7_new No objects detected Detection preview by Segmentatation_v8_medium_train_250 No objects detected Detection preview by Segmentation_V11_large_300_train_300 No objects detected Detection preview by Segmentation_v8_large_300_train_300
Original Image: P04211.jpg
GT: pliers
pliers Detection preview by Box_v11_medium_train_SIXray_OPIXray No objects detected Detection preview by DN_Medium_300_yolov8m_20t7_new No objects detected Detection preview by Segmentatation_v8_medium_train_250 No objects detected Detection preview by Segmentation_V11_large_300_train_300 No objects detected Detection preview by Segmentation_v8_large_300_train_300
Original Image: P04212.jpg
GT: pliers
pliers Detection preview by Box_v11_medium_train_SIXray_OPIXray pliers Detection preview by DN_Medium_300_yolov8m_20t7_new No objects detected Detection preview by Segmentatation_v8_medium_train_250 No objects detected Detection preview by Segmentation_V11_large_300_train_300 No objects detected Detection preview by Segmentation_v8_large_300_train_300
Original Image: P04213.jpg
GT: pliers
pliers Detection preview by Box_v11_medium_train_SIXray_OPIXray pliers Detection preview by DN_Medium_300_yolov8m_20t7_new No objects detected Detection preview by Segmentatation_v8_medium_train_250 No objects detected Detection preview by Segmentation_V11_large_300_train_300 No objects detected Detection preview by Segmentation_v8_large_300_train_300
Original Image: P04214.jpg
GT: pliers
pliers Detection preview by Box_v11_medium_train_SIXray_OPIXray pliers Detection preview by DN_Medium_300_yolov8m_20t7_new No objects detected Detection preview by Segmentatation_v8_medium_train_250 No objects detected Detection preview by Segmentation_V11_large_300_train_300 No objects detected Detection preview by Segmentation_v8_large_300_train_300
Original Image: P04215.jpg
GT: pliers
pliers Detection preview by Box_v11_medium_train_SIXray_OPIXray pliers Detection preview by DN_Medium_300_yolov8m_20t7_new No objects detected Detection preview by Segmentatation_v8_medium_train_250 No objects detected Detection preview by Segmentation_V11_large_300_train_300 No objects detected Detection preview by Segmentation_v8_large_300_train_300
Original Image: P04216.jpg
GT: knife
knife Detection preview by Box_v11_medium_train_SIXray_OPIXray No objects detected Detection preview by DN_Medium_300_yolov8m_20t7_new knife Detection preview by Segmentatation_v8_medium_train_250 knife Detection preview by Segmentation_V11_large_300_train_300 knife Detection preview by Segmentation_v8_large_300_train_300
Original Image: P04217.jpg
GT: knife
knife Detection preview by Box_v11_medium_train_SIXray_OPIXray No objects detected Detection preview by DN_Medium_300_yolov8m_20t7_new knife Detection preview by Segmentatation_v8_medium_train_250 knife Detection preview by Segmentation_V11_large_300_train_300 knife Detection preview by Segmentation_v8_large_300_train_300
Original Image: P04218.jpg
GT: pliers
pliers Detection preview by Box_v11_medium_train_SIXray_OPIXray pliers Detection preview by DN_Medium_300_yolov8m_20t7_new No objects detected Detection preview by Segmentatation_v8_medium_train_250 No objects detected Detection preview by Segmentation_V11_large_300_train_300 No objects detected Detection preview by Segmentation_v8_large_300_train_300
Original Image: P04219.jpg
GT: pliers
pliers Detection preview by Box_v11_medium_train_SIXray_OPIXray pliers Detection preview by DN_Medium_300_yolov8m_20t7_new No objects detected Detection preview by Segmentatation_v8_medium_train_250 No objects detected Detection preview by Segmentation_V11_large_300_train_300 No objects detected Detection preview by Segmentation_v8_large_300_train_300
Original Image: P04220.jpg
GT: pliers
pliers Detection preview by Box_v11_medium_train_SIXray_OPIXray No objects detected Detection preview by DN_Medium_300_yolov8m_20t7_new No objects detected Detection preview by Segmentatation_v8_medium_train_250 No objects detected Detection preview by Segmentation_V11_large_300_train_300 No objects detected Detection preview by Segmentation_v8_large_300_train_300
Original Image: P04221.jpg
GT: pliers
pliers Detection preview by Box_v11_medium_train_SIXray_OPIXray pliers Detection preview by DN_Medium_300_yolov8m_20t7_new No objects detected Detection preview by Segmentatation_v8_medium_train_250 No objects detected Detection preview by Segmentation_V11_large_300_train_300 No objects detected Detection preview by Segmentation_v8_large_300_train_300
Original Image: P04222.jpg
GT: pliers
pliers Detection preview by Box_v11_medium_train_SIXray_OPIXray pliers Detection preview by DN_Medium_300_yolov8m_20t7_new No objects detected Detection preview by Segmentatation_v8_medium_train_250 No objects detected Detection preview by Segmentation_V11_large_300_train_300 No objects detected Detection preview by Segmentation_v8_large_300_train_300
Original Image: P04223.jpg
GT: pliers
pliers Detection preview by Box_v11_medium_train_SIXray_OPIXray pliers Detection preview by DN_Medium_300_yolov8m_20t7_new No objects detected Detection preview by Segmentatation_v8_medium_train_250 No objects detected Detection preview by Segmentation_V11_large_300_train_300 No objects detected Detection preview by Segmentation_v8_large_300_train_300
Original Image: P04224.jpg
GT: wrench
wrench Detection preview by Box_v11_medium_train_SIXray_OPIXray No objects detected Detection preview by DN_Medium_300_yolov8m_20t7_new wrench Detection preview by Segmentatation_v8_medium_train_250 wrench Detection preview by Segmentation_V11_large_300_train_300 wrench Detection preview by Segmentation_v8_large_300_train_300
Original Image: P04225.jpg
GT: wrench
wrench Detection preview by Box_v11_medium_train_SIXray_OPIXray No objects detected Detection preview by DN_Medium_300_yolov8m_20t7_new wrench Detection preview by Segmentatation_v8_medium_train_250 wrench Detection preview by Segmentation_V11_large_300_train_300 wrench Detection preview by Segmentation_v8_large_300_train_300
Original Image: P04226.jpg
GT: wrench
wrench Detection preview by Box_v11_medium_train_SIXray_OPIXray No objects detected Detection preview by DN_Medium_300_yolov8m_20t7_new wrench Detection preview by Segmentatation_v8_medium_train_250 wrench Detection preview by Segmentation_V11_large_300_train_300 wrench Detection preview by Segmentation_v8_large_300_train_300
Original Image: P04227.jpg
GT: knife
knife Detection preview by Box_v11_medium_train_SIXray_OPIXray No objects detected Detection preview by DN_Medium_300_yolov8m_20t7_new knife Detection preview by Segmentatation_v8_medium_train_250 knife Detection preview by Segmentation_V11_large_300_train_300 knife Detection preview by Segmentation_v8_large_300_train_300
Original Image: P04228.jpg
GT: pliers
pliers Detection preview by Box_v11_medium_train_SIXray_OPIXray No objects detected Detection preview by DN_Medium_300_yolov8m_20t7_new No objects detected Detection preview by Segmentatation_v8_medium_train_250 No objects detected Detection preview by Segmentation_V11_large_300_train_300 No objects detected Detection preview by Segmentation_v8_large_300_train_300
Original Image: P04229.jpg
GT: pliers
pliers Detection preview by Box_v11_medium_train_SIXray_OPIXray No objects detected Detection preview by DN_Medium_300_yolov8m_20t7_new No objects detected Detection preview by Segmentatation_v8_medium_train_250 No objects detected Detection preview by Segmentation_V11_large_300_train_300 No objects detected Detection preview by Segmentation_v8_large_300_train_300
Original Image: P04230.jpg
GT: pliers
pliers Detection preview by Box_v11_medium_train_SIXray_OPIXray No objects detected Detection preview by DN_Medium_300_yolov8m_20t7_new No objects detected Detection preview by Segmentatation_v8_medium_train_250 No objects detected Detection preview by Segmentation_V11_large_300_train_300 No objects detected Detection preview by Segmentation_v8_large_300_train_300
Original Image: P04231.jpg
GT: pliers
pliers Detection preview by Box_v11_medium_train_SIXray_OPIXray pliers Detection preview by DN_Medium_300_yolov8m_20t7_new No objects detected Detection preview by Segmentatation_v8_medium_train_250 No objects detected Detection preview by Segmentation_V11_large_300_train_300 No objects detected Detection preview by Segmentation_v8_large_300_train_300
Original Image: P04232.jpg
GT: knife
knife Detection preview by Box_v11_medium_train_SIXray_OPIXray No objects detected Detection preview by DN_Medium_300_yolov8m_20t7_new knife Detection preview by Segmentatation_v8_medium_train_250 knife Detection preview by Segmentation_V11_large_300_train_300 knife Detection preview by Segmentation_v8_large_300_train_300
Original Image: P04233.jpg
GT: knife
knife Detection preview by Box_v11_medium_train_SIXray_OPIXray No objects detected Detection preview by DN_Medium_300_yolov8m_20t7_new knife Detection preview by Segmentatation_v8_medium_train_250 knife Detection preview by Segmentation_V11_large_300_train_300 knife Detection preview by Segmentation_v8_large_300_train_300
Original Image: P04234.jpg
GT: knife
knife Detection preview by Box_v11_medium_train_SIXray_OPIXray No objects detected Detection preview by DN_Medium_300_yolov8m_20t7_new knife Detection preview by Segmentatation_v8_medium_train_250 knife Detection preview by Segmentation_V11_large_300_train_300 knife Detection preview by Segmentation_v8_large_300_train_300
Original Image: P04235.jpg
GT: pliers
pliers Detection preview by Box_v11_medium_train_SIXray_OPIXray No objects detected Detection preview by DN_Medium_300_yolov8m_20t7_new No objects detected Detection preview by Segmentatation_v8_medium_train_250 No objects detected Detection preview by Segmentation_V11_large_300_train_300 No objects detected Detection preview by Segmentation_v8_large_300_train_300
Original Image: P04236.jpg
GT: pliers
pliers Detection preview by Box_v11_medium_train_SIXray_OPIXray No objects detected Detection preview by DN_Medium_300_yolov8m_20t7_new No objects detected Detection preview by Segmentatation_v8_medium_train_250 No objects detected Detection preview by Segmentation_V11_large_300_train_300 No objects detected Detection preview by Segmentation_v8_large_300_train_300
Original Image: P04237.jpg
GT: pliers
pliers Detection preview by Box_v11_medium_train_SIXray_OPIXray pliers Detection preview by DN_Medium_300_yolov8m_20t7_new No objects detected Detection preview by Segmentatation_v8_medium_train_250 No objects detected Detection preview by Segmentation_V11_large_300_train_300 No objects detected Detection preview by Segmentation_v8_large_300_train_300
Original Image: P04238.jpg
GT: pliers
pliers Detection preview by Box_v11_medium_train_SIXray_OPIXray pliers Detection preview by DN_Medium_300_yolov8m_20t7_new No objects detected Detection preview by Segmentatation_v8_medium_train_250 No objects detected Detection preview by Segmentation_V11_large_300_train_300 No objects detected Detection preview by Segmentation_v8_large_300_train_300
Original Image: P04239.jpg
GT: pliers
pliers Detection preview by Box_v11_medium_train_SIXray_OPIXray No objects detected Detection preview by DN_Medium_300_yolov8m_20t7_new No objects detected Detection preview by Segmentatation_v8_medium_train_250 No objects detected Detection preview by Segmentation_V11_large_300_train_300 No objects detected Detection preview by Segmentation_v8_large_300_train_300
Original Image: P04240.jpg
GT: pliers
pliers Detection preview by Box_v11_medium_train_SIXray_OPIXray pliers Detection preview by DN_Medium_300_yolov8m_20t7_new No objects detected Detection preview by Segmentatation_v8_medium_train_250 No objects detected Detection preview by Segmentation_V11_large_300_train_300 No objects detected Detection preview by Segmentation_v8_large_300_train_300
Original Image: P04241.jpg
GT: pliers, wrench
pliers, wrench Detection preview by Box_v11_medium_train_SIXray_OPIXray No objects detected Detection preview by DN_Medium_300_yolov8m_20t7_new wrench Detection preview by Segmentatation_v8_medium_train_250 wrench Detection preview by Segmentation_V11_large_300_train_300 wrench Detection preview by Segmentation_v8_large_300_train_300
Original Image: P04242.jpg
GT: pliers, wrench
pliers, wrench Detection preview by Box_v11_medium_train_SIXray_OPIXray No objects detected Detection preview by DN_Medium_300_yolov8m_20t7_new wrench Detection preview by Segmentatation_v8_medium_train_250 wrench Detection preview by Segmentation_V11_large_300_train_300 wrench Detection preview by Segmentation_v8_large_300_train_300
Original Image: P04243.jpg
GT: pliers, wrench
pliers, wrench Detection preview by Box_v11_medium_train_SIXray_OPIXray No objects detected Detection preview by DN_Medium_300_yolov8m_20t7_new wrench Detection preview by Segmentatation_v8_medium_train_250 wrench Detection preview by Segmentation_V11_large_300_train_300 wrench Detection preview by Segmentation_v8_large_300_train_300
Original Image: P04244.jpg
GT: pliers
pliers Detection preview by Box_v11_medium_train_SIXray_OPIXray No objects detected Detection preview by DN_Medium_300_yolov8m_20t7_new No objects detected Detection preview by Segmentatation_v8_medium_train_250 No objects detected Detection preview by Segmentation_V11_large_300_train_300 No objects detected Detection preview by Segmentation_v8_large_300_train_300
Original Image: P04245.jpg
GT: pliers
pliers Detection preview by Box_v11_medium_train_SIXray_OPIXray No objects detected Detection preview by DN_Medium_300_yolov8m_20t7_new No objects detected Detection preview by Segmentatation_v8_medium_train_250 No objects detected Detection preview by Segmentation_V11_large_300_train_300 No objects detected Detection preview by Segmentation_v8_large_300_train_300
Original Image: P04246.jpg
GT: pliers
pliers Detection preview by Box_v11_medium_train_SIXray_OPIXray No objects detected Detection preview by DN_Medium_300_yolov8m_20t7_new No objects detected Detection preview by Segmentatation_v8_medium_train_250 No objects detected Detection preview by Segmentation_V11_large_300_train_300 No objects detected Detection preview by Segmentation_v8_large_300_train_300
Original Image: P04247.jpg
GT: pliers
pliers Detection preview by Box_v11_medium_train_SIXray_OPIXray pliers Detection preview by DN_Medium_300_yolov8m_20t7_new No objects detected Detection preview by Segmentatation_v8_medium_train_250 No objects detected Detection preview by Segmentation_V11_large_300_train_300 No objects detected Detection preview by Segmentation_v8_large_300_train_300
Original Image: P04248.jpg
GT: pliers
pliers Detection preview by Box_v11_medium_train_SIXray_OPIXray pliers Detection preview by DN_Medium_300_yolov8m_20t7_new No objects detected Detection preview by Segmentatation_v8_medium_train_250 No objects detected Detection preview by Segmentation_V11_large_300_train_300 No objects detected Detection preview by Segmentation_v8_large_300_train_300
Original Image: P04249.jpg
GT: pliers
pliers Detection preview by Box_v11_medium_train_SIXray_OPIXray pliers Detection preview by DN_Medium_300_yolov8m_20t7_new No objects detected Detection preview by Segmentatation_v8_medium_train_250 No objects detected Detection preview by Segmentation_V11_large_300_train_300 No objects detected Detection preview by Segmentation_v8_large_300_train_300
Original Image: P04250.jpg
GT: pliers
pliers Detection preview by Box_v11_medium_train_SIXray_OPIXray pliers Detection preview by DN_Medium_300_yolov8m_20t7_new No objects detected Detection preview by Segmentatation_v8_medium_train_250 No objects detected Detection preview by Segmentation_V11_large_300_train_300 No objects detected Detection preview by Segmentation_v8_large_300_train_300
Original Image: P04251.jpg
GT: wrench
wrench Detection preview by Box_v11_medium_train_SIXray_OPIXray No objects detected Detection preview by DN_Medium_300_yolov8m_20t7_new wrench Detection preview by Segmentatation_v8_medium_train_250 wrench Detection preview by Segmentation_V11_large_300_train_300 wrench Detection preview by Segmentation_v8_large_300_train_300
Original Image: P04252.jpg
GT: pliers, wrench
pliers, wrench Detection preview by Box_v11_medium_train_SIXray_OPIXray No objects detected Detection preview by DN_Medium_300_yolov8m_20t7_new wrench Detection preview by Segmentatation_v8_medium_train_250 wrench Detection preview by Segmentation_V11_large_300_train_300 wrench Detection preview by Segmentation_v8_large_300_train_300
Original Image: P04253.jpg
GT: pliers, wrench
pliers, wrench Detection preview by Box_v11_medium_train_SIXray_OPIXray pliers Detection preview by DN_Medium_300_yolov8m_20t7_new wrench Detection preview by Segmentatation_v8_medium_train_250 wrench Detection preview by Segmentation_V11_large_300_train_300 wrench Detection preview by Segmentation_v8_large_300_train_300
Original Image: P04254.jpg
GT: pliers
pliers Detection preview by Box_v11_medium_train_SIXray_OPIXray No objects detected Detection preview by DN_Medium_300_yolov8m_20t7_new No objects detected Detection preview by Segmentatation_v8_medium_train_250 No objects detected Detection preview by Segmentation_V11_large_300_train_300 No objects detected Detection preview by Segmentation_v8_large_300_train_300
Original Image: P04255.jpg
GT: pliers
pliers Detection preview by Box_v11_medium_train_SIXray_OPIXray No objects detected Detection preview by DN_Medium_300_yolov8m_20t7_new No objects detected Detection preview by Segmentatation_v8_medium_train_250 No objects detected Detection preview by Segmentation_V11_large_300_train_300 No objects detected Detection preview by Segmentation_v8_large_300_train_300
Original Image: P04256.jpg
GT: knife
knife Detection preview by Box_v11_medium_train_SIXray_OPIXray No objects detected Detection preview by DN_Medium_300_yolov8m_20t7_new knife Detection preview by Segmentatation_v8_medium_train_250 No objects detected Detection preview by Segmentation_V11_large_300_train_300 No objects detected Detection preview by Segmentation_v8_large_300_train_300
Original Image: P04257.jpg
GT: scissors
scissor Detection preview by Box_v11_medium_train_SIXray_OPIXray No objects detected Detection preview by DN_Medium_300_yolov8m_20t7_new scissor Detection preview by Segmentatation_v8_medium_train_250 scissor Detection preview by Segmentation_V11_large_300_train_300 scissor Detection preview by Segmentation_v8_large_300_train_300
Original Image: P04258.jpg
GT: pliers
pliers Detection preview by Box_v11_medium_train_SIXray_OPIXray pliers Detection preview by DN_Medium_300_yolov8m_20t7_new No objects detected Detection preview by Segmentatation_v8_medium_train_250 No objects detected Detection preview by Segmentation_V11_large_300_train_300 No objects detected Detection preview by Segmentation_v8_large_300_train_300
Original Image: P04259.jpg
GT: pliers
pliers Detection preview by Box_v11_medium_train_SIXray_OPIXray No objects detected Detection preview by DN_Medium_300_yolov8m_20t7_new wrench Detection preview by Segmentatation_v8_medium_train_250 No objects detected Detection preview by Segmentation_V11_large_300_train_300 No objects detected Detection preview by Segmentation_v8_large_300_train_300
Original Image: P04260.jpg
GT: wrench
wrench Detection preview by Box_v11_medium_train_SIXray_OPIXray No objects detected Detection preview by DN_Medium_300_yolov8m_20t7_new wrench Detection preview by Segmentatation_v8_medium_train_250 wrench Detection preview by Segmentation_V11_large_300_train_300 wrench Detection preview by Segmentation_v8_large_300_train_300
Original Image: P04261.jpg
GT: scissors
scissor Detection preview by Box_v11_medium_train_SIXray_OPIXray No objects detected Detection preview by DN_Medium_300_yolov8m_20t7_new scissor Detection preview by Segmentatation_v8_medium_train_250 scissor Detection preview by Segmentation_V11_large_300_train_300 scissor Detection preview by Segmentation_v8_large_300_train_300
Original Image: P04262.jpg
GT: wrench
wrench Detection preview by Box_v11_medium_train_SIXray_OPIXray No objects detected Detection preview by DN_Medium_300_yolov8m_20t7_new wrench Detection preview by Segmentatation_v8_medium_train_250 wrench Detection preview by Segmentation_V11_large_300_train_300 wrench Detection preview by Segmentation_v8_large_300_train_300
Original Image: P04263.jpg
GT: wrench
wrench Detection preview by Box_v11_medium_train_SIXray_OPIXray No objects detected Detection preview by DN_Medium_300_yolov8m_20t7_new wrench Detection preview by Segmentatation_v8_medium_train_250 wrench Detection preview by Segmentation_V11_large_300_train_300 wrench Detection preview by Segmentation_v8_large_300_train_300
Original Image: P04264.jpg
GT: pliers
pliers Detection preview by Box_v11_medium_train_SIXray_OPIXray No objects detected Detection preview by DN_Medium_300_yolov8m_20t7_new No objects detected Detection preview by Segmentatation_v8_medium_train_250 No objects detected Detection preview by Segmentation_V11_large_300_train_300 No objects detected Detection preview by Segmentation_v8_large_300_train_300
Original Image: P04265.jpg
GT: pliers
pliers Detection preview by Box_v11_medium_train_SIXray_OPIXray No objects detected Detection preview by DN_Medium_300_yolov8m_20t7_new wrench Detection preview by Segmentatation_v8_medium_train_250 wrench Detection preview by Segmentation_V11_large_300_train_300 wrench Detection preview by Segmentation_v8_large_300_train_300
Original Image: P04266.jpg
GT: pliers, wrench
pliers, wrench Detection preview by Box_v11_medium_train_SIXray_OPIXray No objects detected Detection preview by DN_Medium_300_yolov8m_20t7_new wrench Detection preview by Segmentatation_v8_medium_train_250 wrench Detection preview by Segmentation_V11_large_300_train_300 wrench Detection preview by Segmentation_v8_large_300_train_300
Original Image: P04267.jpg
GT: pliers, wrench
pliers, wrench Detection preview by Box_v11_medium_train_SIXray_OPIXray No objects detected Detection preview by DN_Medium_300_yolov8m_20t7_new wrench Detection preview by Segmentatation_v8_medium_train_250 wrench Detection preview by Segmentation_V11_large_300_train_300 wrench Detection preview by Segmentation_v8_large_300_train_300
Original Image: P04268.jpg
GT: knife, scissors
knife, scissor Detection preview by Box_v11_medium_train_SIXray_OPIXray No objects detected Detection preview by DN_Medium_300_yolov8m_20t7_new scissor Detection preview by Segmentatation_v8_medium_train_250 scissor Detection preview by Segmentation_V11_large_300_train_300 scissor Detection preview by Segmentation_v8_large_300_train_300
Original Image: P04269.jpg
GT: pliers
pliers Detection preview by Box_v11_medium_train_SIXray_OPIXray No objects detected Detection preview by DN_Medium_300_yolov8m_20t7_new No objects detected Detection preview by Segmentatation_v8_medium_train_250 No objects detected Detection preview by Segmentation_V11_large_300_train_300 No objects detected Detection preview by Segmentation_v8_large_300_train_300
Original Image: P04270.jpg
GT: pliers
pliers Detection preview by Box_v11_medium_train_SIXray_OPIXray No objects detected Detection preview by DN_Medium_300_yolov8m_20t7_new No objects detected Detection preview by Segmentatation_v8_medium_train_250 No objects detected Detection preview by Segmentation_V11_large_300_train_300 No objects detected Detection preview by Segmentation_v8_large_300_train_300
Original Image: P04271.jpg
GT: pliers, wrench
pliers, wrench Detection preview by Box_v11_medium_train_SIXray_OPIXray No objects detected Detection preview by DN_Medium_300_yolov8m_20t7_new wrench Detection preview by Segmentatation_v8_medium_train_250 wrench Detection preview by Segmentation_V11_large_300_train_300 wrench Detection preview by Segmentation_v8_large_300_train_300
Original Image: P04272.jpg
GT: pliers
pliers Detection preview by Box_v11_medium_train_SIXray_OPIXray No objects detected Detection preview by DN_Medium_300_yolov8m_20t7_new No objects detected Detection preview by Segmentatation_v8_medium_train_250 No objects detected Detection preview by Segmentation_V11_large_300_train_300 No objects detected Detection preview by Segmentation_v8_large_300_train_300
Original Image: P04273.jpg
GT: pliers
pliers Detection preview by Box_v11_medium_train_SIXray_OPIXray No objects detected Detection preview by DN_Medium_300_yolov8m_20t7_new No objects detected Detection preview by Segmentatation_v8_medium_train_250 No objects detected Detection preview by Segmentation_V11_large_300_train_300 No objects detected Detection preview by Segmentation_v8_large_300_train_300
Original Image: P04274.jpg
GT: pliers
pliers Detection preview by Box_v11_medium_train_SIXray_OPIXray No objects detected Detection preview by DN_Medium_300_yolov8m_20t7_new No objects detected Detection preview by Segmentatation_v8_medium_train_250 No objects detected Detection preview by Segmentation_V11_large_300_train_300 No objects detected Detection preview by Segmentation_v8_large_300_train_300
Original Image: P04275.jpg
GT: pliers
pliers Detection preview by Box_v11_medium_train_SIXray_OPIXray No objects detected Detection preview by DN_Medium_300_yolov8m_20t7_new No objects detected Detection preview by Segmentatation_v8_medium_train_250 No objects detected Detection preview by Segmentation_V11_large_300_train_300 No objects detected Detection preview by Segmentation_v8_large_300_train_300
Original Image: P04276.jpg
GT: pliers
pliers Detection preview by Box_v11_medium_train_SIXray_OPIXray No objects detected Detection preview by DN_Medium_300_yolov8m_20t7_new No objects detected Detection preview by Segmentatation_v8_medium_train_250 No objects detected Detection preview by Segmentation_V11_large_300_train_300 No objects detected Detection preview by Segmentation_v8_large_300_train_300
Original Image: P04277.jpg
GT: pliers
pliers Detection preview by Box_v11_medium_train_SIXray_OPIXray No objects detected Detection preview by DN_Medium_300_yolov8m_20t7_new No objects detected Detection preview by Segmentatation_v8_medium_train_250 No objects detected Detection preview by Segmentation_V11_large_300_train_300 No objects detected Detection preview by Segmentation_v8_large_300_train_300
Original Image: P04278.jpg
GT: pliers, wrench
pliers, wrench Detection preview by Box_v11_medium_train_SIXray_OPIXray pliers, scissor Detection preview by DN_Medium_300_yolov8m_20t7_new wrench Detection preview by Segmentatation_v8_medium_train_250 wrench Detection preview by Segmentation_V11_large_300_train_300 wrench Detection preview by Segmentation_v8_large_300_train_300
Original Image: P04279.jpg
GT: pliers, wrench
pliers, wrench Detection preview by Box_v11_medium_train_SIXray_OPIXray pliers Detection preview by DN_Medium_300_yolov8m_20t7_new wrench Detection preview by Segmentatation_v8_medium_train_250 wrench Detection preview by Segmentation_V11_large_300_train_300 wrench Detection preview by Segmentation_v8_large_300_train_300
Original Image: P04280.jpg
GT: knife
knife Detection preview by Box_v11_medium_train_SIXray_OPIXray No objects detected Detection preview by DN_Medium_300_yolov8m_20t7_new knife Detection preview by Segmentatation_v8_medium_train_250 knife Detection preview by Segmentation_V11_large_300_train_300 knife Detection preview by Segmentation_v8_large_300_train_300
Original Image: P04281.jpg
GT: wrench
wrench Detection preview by Box_v11_medium_train_SIXray_OPIXray No objects detected Detection preview by DN_Medium_300_yolov8m_20t7_new wrench Detection preview by Segmentatation_v8_medium_train_250 wrench Detection preview by Segmentation_V11_large_300_train_300 wrench Detection preview by Segmentation_v8_large_300_train_300
Original Image: P04282.jpg
GT: scissors
scissor Detection preview by Box_v11_medium_train_SIXray_OPIXray No objects detected Detection preview by DN_Medium_300_yolov8m_20t7_new scissor Detection preview by Segmentatation_v8_medium_train_250 scissor Detection preview by Segmentation_V11_large_300_train_300 scissor Detection preview by Segmentation_v8_large_300_train_300
Original Image: P04283.jpg
GT: wrench
wrench Detection preview by Box_v11_medium_train_SIXray_OPIXray No objects detected Detection preview by DN_Medium_300_yolov8m_20t7_new wrench Detection preview by Segmentatation_v8_medium_train_250 wrench Detection preview by Segmentation_V11_large_300_train_300 wrench Detection preview by Segmentation_v8_large_300_train_300
Original Image: P04284.jpg
GT: pliers, wrench
pliers, wrench Detection preview by Box_v11_medium_train_SIXray_OPIXray No objects detected Detection preview by DN_Medium_300_yolov8m_20t7_new wrench Detection preview by Segmentatation_v8_medium_train_250 wrench Detection preview by Segmentation_V11_large_300_train_300 wrench Detection preview by Segmentation_v8_large_300_train_300
Original Image: P04285.jpg
GT: pliers, wrench
pliers, wrench Detection preview by Box_v11_medium_train_SIXray_OPIXray No objects detected Detection preview by DN_Medium_300_yolov8m_20t7_new wrench Detection preview by Segmentatation_v8_medium_train_250 wrench Detection preview by Segmentation_V11_large_300_train_300 wrench Detection preview by Segmentation_v8_large_300_train_300
Original Image: P04286.jpg
GT: pliers, wrench
pliers, wrench Detection preview by Box_v11_medium_train_SIXray_OPIXray No objects detected Detection preview by DN_Medium_300_yolov8m_20t7_new wrench Detection preview by Segmentatation_v8_medium_train_250 wrench Detection preview by Segmentation_V11_large_300_train_300 wrench Detection preview by Segmentation_v8_large_300_train_300
Original Image: P04287.jpg
GT: pliers, wrench
pliers, wrench Detection preview by Box_v11_medium_train_SIXray_OPIXray No objects detected Detection preview by DN_Medium_300_yolov8m_20t7_new wrench Detection preview by Segmentatation_v8_medium_train_250 wrench Detection preview by Segmentation_V11_large_300_train_300 wrench Detection preview by Segmentation_v8_large_300_train_300
Original Image: P04288.jpg
GT: pliers
pliers Detection preview by Box_v11_medium_train_SIXray_OPIXray No objects detected Detection preview by DN_Medium_300_yolov8m_20t7_new No objects detected Detection preview by Segmentatation_v8_medium_train_250 No objects detected Detection preview by Segmentation_V11_large_300_train_300 No objects detected Detection preview by Segmentation_v8_large_300_train_300
Original Image: P04289.jpg
GT: pliers
pliers Detection preview by Box_v11_medium_train_SIXray_OPIXray No objects detected Detection preview by DN_Medium_300_yolov8m_20t7_new No objects detected Detection preview by Segmentatation_v8_medium_train_250 No objects detected Detection preview by Segmentation_V11_large_300_train_300 No objects detected Detection preview by Segmentation_v8_large_300_train_300
Original Image: P04290.jpg
GT: pliers
pliers Detection preview by Box_v11_medium_train_SIXray_OPIXray No objects detected Detection preview by DN_Medium_300_yolov8m_20t7_new No objects detected Detection preview by Segmentatation_v8_medium_train_250 No objects detected Detection preview by Segmentation_V11_large_300_train_300 No objects detected Detection preview by Segmentation_v8_large_300_train_300
Original Image: P04291.jpg
GT: pliers
pliers Detection preview by Box_v11_medium_train_SIXray_OPIXray No objects detected Detection preview by DN_Medium_300_yolov8m_20t7_new scissor, wrench Detection preview by Segmentatation_v8_medium_train_250 scissor, wrench Detection preview by Segmentation_V11_large_300_train_300 scissor, wrench Detection preview by Segmentation_v8_large_300_train_300
Original Image: P04292.jpg
GT: pliers
pliers Detection preview by Box_v11_medium_train_SIXray_OPIXray pliers Detection preview by DN_Medium_300_yolov8m_20t7_new No objects detected Detection preview by Segmentatation_v8_medium_train_250 No objects detected Detection preview by Segmentation_V11_large_300_train_300 No objects detected Detection preview by Segmentation_v8_large_300_train_300
Original Image: P04293.jpg
GT: pliers
pliers Detection preview by Box_v11_medium_train_SIXray_OPIXray No objects detected Detection preview by DN_Medium_300_yolov8m_20t7_new No objects detected Detection preview by Segmentatation_v8_medium_train_250 No objects detected Detection preview by Segmentation_V11_large_300_train_300 No objects detected Detection preview by Segmentation_v8_large_300_train_300
Original Image: P04294.jpg
GT: pliers
pliers Detection preview by Box_v11_medium_train_SIXray_OPIXray No objects detected Detection preview by DN_Medium_300_yolov8m_20t7_new No objects detected Detection preview by Segmentatation_v8_medium_train_250 No objects detected Detection preview by Segmentation_V11_large_300_train_300 No objects detected Detection preview by Segmentation_v8_large_300_train_300
Original Image: P04295.jpg
GT: pliers
pliers Detection preview by Box_v11_medium_train_SIXray_OPIXray No objects detected Detection preview by DN_Medium_300_yolov8m_20t7_new No objects detected Detection preview by Segmentatation_v8_medium_train_250 No objects detected Detection preview by Segmentation_V11_large_300_train_300 No objects detected Detection preview by Segmentation_v8_large_300_train_300
Original Image: P04296.jpg
GT: scissors, wrench
scissor, wrench Detection preview by Box_v11_medium_train_SIXray_OPIXray No objects detected Detection preview by DN_Medium_300_yolov8m_20t7_new scissor, wrench Detection preview by Segmentatation_v8_medium_train_250 scissor, wrench Detection preview by Segmentation_V11_large_300_train_300 scissor, wrench Detection preview by Segmentation_v8_large_300_train_300
Original Image: P04297.jpg
GT: scissors
scissor Detection preview by Box_v11_medium_train_SIXray_OPIXray No objects detected Detection preview by DN_Medium_300_yolov8m_20t7_new scissor Detection preview by Segmentatation_v8_medium_train_250 scissor Detection preview by Segmentation_V11_large_300_train_300 scissor Detection preview by Segmentation_v8_large_300_train_300
Original Image: P04298.jpg
GT: pliers, wrench
pliers, wrench Detection preview by Box_v11_medium_train_SIXray_OPIXray No objects detected Detection preview by DN_Medium_300_yolov8m_20t7_new wrench Detection preview by Segmentatation_v8_medium_train_250 wrench Detection preview by Segmentation_V11_large_300_train_300 wrench Detection preview by Segmentation_v8_large_300_train_300
Original Image: P04299.jpg
GT: knife
knife Detection preview by Box_v11_medium_train_SIXray_OPIXray No objects detected Detection preview by DN_Medium_300_yolov8m_20t7_new scissor Detection preview by Segmentatation_v8_medium_train_250 scissor Detection preview by Segmentation_V11_large_300_train_300 scissor Detection preview by Segmentation_v8_large_300_train_300
Original Image: P04300.jpg
GT: wrench
wrench Detection preview by Box_v11_medium_train_SIXray_OPIXray No objects detected Detection preview by DN_Medium_300_yolov8m_20t7_new wrench Detection preview by Segmentatation_v8_medium_train_250 wrench Detection preview by Segmentation_V11_large_300_train_300 wrench Detection preview by Segmentation_v8_large_300_train_300
Original Image: P04301.jpg
GT: wrench
wrench Detection preview by Box_v11_medium_train_SIXray_OPIXray No objects detected Detection preview by DN_Medium_300_yolov8m_20t7_new wrench Detection preview by Segmentatation_v8_medium_train_250 wrench Detection preview by Segmentation_V11_large_300_train_300 wrench Detection preview by Segmentation_v8_large_300_train_300
Original Image: P04302.jpg
GT: wrench
wrench Detection preview by Box_v11_medium_train_SIXray_OPIXray No objects detected Detection preview by DN_Medium_300_yolov8m_20t7_new wrench Detection preview by Segmentatation_v8_medium_train_250 wrench Detection preview by Segmentation_V11_large_300_train_300 wrench Detection preview by Segmentation_v8_large_300_train_300
Original Image: P04303.jpg
GT: wrench
wrench Detection preview by Box_v11_medium_train_SIXray_OPIXray No objects detected Detection preview by DN_Medium_300_yolov8m_20t7_new wrench Detection preview by Segmentatation_v8_medium_train_250 wrench Detection preview by Segmentation_V11_large_300_train_300 wrench Detection preview by Segmentation_v8_large_300_train_300
Original Image: P04304.jpg
GT: wrench
wrench Detection preview by Box_v11_medium_train_SIXray_OPIXray No objects detected Detection preview by DN_Medium_300_yolov8m_20t7_new wrench Detection preview by Segmentatation_v8_medium_train_250 wrench Detection preview by Segmentation_V11_large_300_train_300 wrench Detection preview by Segmentation_v8_large_300_train_300
Original Image: P04305.jpg
GT: wrench
wrench Detection preview by Box_v11_medium_train_SIXray_OPIXray No objects detected Detection preview by DN_Medium_300_yolov8m_20t7_new wrench Detection preview by Segmentatation_v8_medium_train_250 wrench Detection preview by Segmentation_V11_large_300_train_300 wrench Detection preview by Segmentation_v8_large_300_train_300
Original Image: P04306.jpg
GT: pliers, wrench
pliers, wrench Detection preview by Box_v11_medium_train_SIXray_OPIXray No objects detected Detection preview by DN_Medium_300_yolov8m_20t7_new wrench Detection preview by Segmentatation_v8_medium_train_250 wrench Detection preview by Segmentation_V11_large_300_train_300 wrench Detection preview by Segmentation_v8_large_300_train_300
Original Image: P04307.jpg
GT: pliers, wrench
pliers, wrench Detection preview by Box_v11_medium_train_SIXray_OPIXray No objects detected Detection preview by DN_Medium_300_yolov8m_20t7_new wrench Detection preview by Segmentatation_v8_medium_train_250 wrench Detection preview by Segmentation_V11_large_300_train_300 wrench Detection preview by Segmentation_v8_large_300_train_300
Original Image: P04308.jpg
GT: wrench
wrench Detection preview by Box_v11_medium_train_SIXray_OPIXray No objects detected Detection preview by DN_Medium_300_yolov8m_20t7_new wrench Detection preview by Segmentatation_v8_medium_train_250 wrench Detection preview by Segmentation_V11_large_300_train_300 wrench Detection preview by Segmentation_v8_large_300_train_300
Original Image: P04309.jpg
GT: wrench
wrench Detection preview by Box_v11_medium_train_SIXray_OPIXray No objects detected Detection preview by DN_Medium_300_yolov8m_20t7_new wrench Detection preview by Segmentatation_v8_medium_train_250 wrench Detection preview by Segmentation_V11_large_300_train_300 wrench Detection preview by Segmentation_v8_large_300_train_300
Original Image: P04310.jpg
GT: wrench
wrench Detection preview by Box_v11_medium_train_SIXray_OPIXray No objects detected Detection preview by DN_Medium_300_yolov8m_20t7_new wrench Detection preview by Segmentatation_v8_medium_train_250 wrench Detection preview by Segmentation_V11_large_300_train_300 wrench Detection preview by Segmentation_v8_large_300_train_300
Original Image: P04311.jpg
GT: pliers
pliers Detection preview by Box_v11_medium_train_SIXray_OPIXray No objects detected Detection preview by DN_Medium_300_yolov8m_20t7_new No objects detected Detection preview by Segmentatation_v8_medium_train_250 No objects detected Detection preview by Segmentation_V11_large_300_train_300 No objects detected Detection preview by Segmentation_v8_large_300_train_300
Original Image: P04312.jpg
GT: pliers
pliers Detection preview by Box_v11_medium_train_SIXray_OPIXray No objects detected Detection preview by DN_Medium_300_yolov8m_20t7_new No objects detected Detection preview by Segmentatation_v8_medium_train_250 No objects detected Detection preview by Segmentation_V11_large_300_train_300 No objects detected Detection preview by Segmentation_v8_large_300_train_300
Original Image: P04313.jpg
GT: pliers
pliers Detection preview by Box_v11_medium_train_SIXray_OPIXray No objects detected Detection preview by DN_Medium_300_yolov8m_20t7_new No objects detected Detection preview by Segmentatation_v8_medium_train_250 No objects detected Detection preview by Segmentation_V11_large_300_train_300 No objects detected Detection preview by Segmentation_v8_large_300_train_300
Original Image: P04314.jpg
GT: pliers
pliers Detection preview by Box_v11_medium_train_SIXray_OPIXray No objects detected Detection preview by DN_Medium_300_yolov8m_20t7_new No objects detected Detection preview by Segmentatation_v8_medium_train_250 No objects detected Detection preview by Segmentation_V11_large_300_train_300 No objects detected Detection preview by Segmentation_v8_large_300_train_300
Original Image: P04315.jpg
GT: wrench
wrench Detection preview by Box_v11_medium_train_SIXray_OPIXray pliers Detection preview by DN_Medium_300_yolov8m_20t7_new scissor, wrench Detection preview by Segmentatation_v8_medium_train_250 scissor, wrench Detection preview by Segmentation_V11_large_300_train_300 scissor, wrench Detection preview by Segmentation_v8_large_300_train_300
Original Image: P04316.jpg
GT: wrench
wrench Detection preview by Box_v11_medium_train_SIXray_OPIXray No objects detected Detection preview by DN_Medium_300_yolov8m_20t7_new wrench Detection preview by Segmentatation_v8_medium_train_250 scissor, wrench Detection preview by Segmentation_V11_large_300_train_300 scissor, wrench Detection preview by Segmentation_v8_large_300_train_300
Original Image: P04317.jpg
GT: scissors
scissor Detection preview by Box_v11_medium_train_SIXray_OPIXray No objects detected Detection preview by DN_Medium_300_yolov8m_20t7_new No objects detected Detection preview by Segmentatation_v8_medium_train_250 No objects detected Detection preview by Segmentation_V11_large_300_train_300 No objects detected Detection preview by Segmentation_v8_large_300_train_300
Original Image: P04318.jpg
GT: wrench
wrench Detection preview by Box_v11_medium_train_SIXray_OPIXray No objects detected Detection preview by DN_Medium_300_yolov8m_20t7_new wrench Detection preview by Segmentatation_v8_medium_train_250 wrench Detection preview by Segmentation_V11_large_300_train_300 wrench Detection preview by Segmentation_v8_large_300_train_300
Original Image: P04319.jpg
GT: knife
knife Detection preview by Box_v11_medium_train_SIXray_OPIXray No objects detected Detection preview by DN_Medium_300_yolov8m_20t7_new scissor Detection preview by Segmentatation_v8_medium_train_250 scissor Detection preview by Segmentation_V11_large_300_train_300 scissor Detection preview by Segmentation_v8_large_300_train_300
Original Image: P04320.jpg
GT: knife
knife Detection preview by Box_v11_medium_train_SIXray_OPIXray No objects detected Detection preview by DN_Medium_300_yolov8m_20t7_new scissor Detection preview by Segmentatation_v8_medium_train_250 scissor Detection preview by Segmentation_V11_large_300_train_300 scissor Detection preview by Segmentation_v8_large_300_train_300
Original Image: P04321.jpg
GT: wrench
wrench Detection preview by Box_v11_medium_train_SIXray_OPIXray No objects detected Detection preview by DN_Medium_300_yolov8m_20t7_new wrench Detection preview by Segmentatation_v8_medium_train_250 wrench Detection preview by Segmentation_V11_large_300_train_300 wrench Detection preview by Segmentation_v8_large_300_train_300
Original Image: P04322.jpg
GT: wrench
wrench Detection preview by Box_v11_medium_train_SIXray_OPIXray No objects detected Detection preview by DN_Medium_300_yolov8m_20t7_new wrench Detection preview by Segmentatation_v8_medium_train_250 wrench Detection preview by Segmentation_V11_large_300_train_300 wrench Detection preview by Segmentation_v8_large_300_train_300
Original Image: P04323.jpg
GT: wrench
wrench Detection preview by Box_v11_medium_train_SIXray_OPIXray No objects detected Detection preview by DN_Medium_300_yolov8m_20t7_new wrench Detection preview by Segmentatation_v8_medium_train_250 wrench Detection preview by Segmentation_V11_large_300_train_300 wrench Detection preview by Segmentation_v8_large_300_train_300
Original Image: P04324.jpg
GT: wrench
wrench Detection preview by Box_v11_medium_train_SIXray_OPIXray No objects detected Detection preview by DN_Medium_300_yolov8m_20t7_new wrench Detection preview by Segmentatation_v8_medium_train_250 wrench Detection preview by Segmentation_V11_large_300_train_300 wrench Detection preview by Segmentation_v8_large_300_train_300
Original Image: P04325.jpg
GT: pliers
pliers Detection preview by Box_v11_medium_train_SIXray_OPIXray No objects detected Detection preview by DN_Medium_300_yolov8m_20t7_new No objects detected Detection preview by Segmentatation_v8_medium_train_250 No objects detected Detection preview by Segmentation_V11_large_300_train_300 No objects detected Detection preview by Segmentation_v8_large_300_train_300
Original Image: P04326.jpg
GT: pliers
pliers Detection preview by Box_v11_medium_train_SIXray_OPIXray No objects detected Detection preview by DN_Medium_300_yolov8m_20t7_new No objects detected Detection preview by Segmentatation_v8_medium_train_250 No objects detected Detection preview by Segmentation_V11_large_300_train_300 No objects detected Detection preview by Segmentation_v8_large_300_train_300
Original Image: P04327.jpg
GT: pliers
pliers Detection preview by Box_v11_medium_train_SIXray_OPIXray No objects detected Detection preview by DN_Medium_300_yolov8m_20t7_new No objects detected Detection preview by Segmentatation_v8_medium_train_250 No objects detected Detection preview by Segmentation_V11_large_300_train_300 No objects detected Detection preview by Segmentation_v8_large_300_train_300
Original Image: P04328.jpg
GT: pliers
pliers Detection preview by Box_v11_medium_train_SIXray_OPIXray No objects detected Detection preview by DN_Medium_300_yolov8m_20t7_new No objects detected Detection preview by Segmentatation_v8_medium_train_250 No objects detected Detection preview by Segmentation_V11_large_300_train_300 No objects detected Detection preview by Segmentation_v8_large_300_train_300
Original Image: P04329.jpg
GT: pliers
pliers Detection preview by Box_v11_medium_train_SIXray_OPIXray No objects detected Detection preview by DN_Medium_300_yolov8m_20t7_new No objects detected Detection preview by Segmentatation_v8_medium_train_250 No objects detected Detection preview by Segmentation_V11_large_300_train_300 No objects detected Detection preview by Segmentation_v8_large_300_train_300
Original Image: P04330.jpg
GT: pliers
pliers Detection preview by Box_v11_medium_train_SIXray_OPIXray No objects detected Detection preview by DN_Medium_300_yolov8m_20t7_new No objects detected Detection preview by Segmentatation_v8_medium_train_250 No objects detected Detection preview by Segmentation_V11_large_300_train_300 No objects detected Detection preview by Segmentation_v8_large_300_train_300
Original Image: P04331.jpg
GT: pliers
pliers Detection preview by Box_v11_medium_train_SIXray_OPIXray No objects detected Detection preview by DN_Medium_300_yolov8m_20t7_new No objects detected Detection preview by Segmentatation_v8_medium_train_250 No objects detected Detection preview by Segmentation_V11_large_300_train_300 No objects detected Detection preview by Segmentation_v8_large_300_train_300
Original Image: P04332.jpg
GT: pliers
pliers Detection preview by Box_v11_medium_train_SIXray_OPIXray No objects detected Detection preview by DN_Medium_300_yolov8m_20t7_new No objects detected Detection preview by Segmentatation_v8_medium_train_250 No objects detected Detection preview by Segmentation_V11_large_300_train_300 No objects detected Detection preview by Segmentation_v8_large_300_train_300
Original Image: P04333.jpg
GT: pliers, wrench
pliers, wrench Detection preview by Box_v11_medium_train_SIXray_OPIXray pliers Detection preview by DN_Medium_300_yolov8m_20t7_new wrench Detection preview by Segmentatation_v8_medium_train_250 wrench Detection preview by Segmentation_V11_large_300_train_300 wrench Detection preview by Segmentation_v8_large_300_train_300
Original Image: P04334.jpg
GT: pliers, wrench
pliers, wrench Detection preview by Box_v11_medium_train_SIXray_OPIXray pliers Detection preview by DN_Medium_300_yolov8m_20t7_new wrench Detection preview by Segmentatation_v8_medium_train_250 wrench Detection preview by Segmentation_V11_large_300_train_300 wrench Detection preview by Segmentation_v8_large_300_train_300
Original Image: P04335.jpg
GT: pliers, wrench
pliers, wrench Detection preview by Box_v11_medium_train_SIXray_OPIXray pliers Detection preview by DN_Medium_300_yolov8m_20t7_new wrench Detection preview by Segmentatation_v8_medium_train_250 wrench Detection preview by Segmentation_V11_large_300_train_300 wrench Detection preview by Segmentation_v8_large_300_train_300
Original Image: P04336.jpg
GT: pliers, wrench
pliers, wrench Detection preview by Box_v11_medium_train_SIXray_OPIXray pliers Detection preview by DN_Medium_300_yolov8m_20t7_new wrench Detection preview by Segmentatation_v8_medium_train_250 wrench Detection preview by Segmentation_V11_large_300_train_300 wrench Detection preview by Segmentation_v8_large_300_train_300
Original Image: P04337.jpg
GT: pliers, wrench
pliers, wrench Detection preview by Box_v11_medium_train_SIXray_OPIXray pliers Detection preview by DN_Medium_300_yolov8m_20t7_new wrench Detection preview by Segmentatation_v8_medium_train_250 wrench Detection preview by Segmentation_V11_large_300_train_300 wrench Detection preview by Segmentation_v8_large_300_train_300
Original Image: P04338.jpg
GT: pliers
pliers Detection preview by Box_v11_medium_train_SIXray_OPIXray No objects detected Detection preview by DN_Medium_300_yolov8m_20t7_new No objects detected Detection preview by Segmentatation_v8_medium_train_250 No objects detected Detection preview by Segmentation_V11_large_300_train_300 No objects detected Detection preview by Segmentation_v8_large_300_train_300
Original Image: P04339.jpg
GT: wrench
wrench Detection preview by Box_v11_medium_train_SIXray_OPIXray No objects detected Detection preview by DN_Medium_300_yolov8m_20t7_new wrench Detection preview by Segmentatation_v8_medium_train_250 wrench Detection preview by Segmentation_V11_large_300_train_300 wrench Detection preview by Segmentation_v8_large_300_train_300
Original Image: P04340.jpg
GT: pliers
pliers Detection preview by Box_v11_medium_train_SIXray_OPIXray No objects detected Detection preview by DN_Medium_300_yolov8m_20t7_new No objects detected Detection preview by Segmentatation_v8_medium_train_250 No objects detected Detection preview by Segmentation_V11_large_300_train_300 No objects detected Detection preview by Segmentation_v8_large_300_train_300
Original Image: P04341.jpg
GT: pliers
pliers Detection preview by Box_v11_medium_train_SIXray_OPIXray No objects detected Detection preview by DN_Medium_300_yolov8m_20t7_new No objects detected Detection preview by Segmentatation_v8_medium_train_250 No objects detected Detection preview by Segmentation_V11_large_300_train_300 No objects detected Detection preview by Segmentation_v8_large_300_train_300
Original Image: P04342.jpg
GT: wrench
wrench Detection preview by Box_v11_medium_train_SIXray_OPIXray No objects detected Detection preview by DN_Medium_300_yolov8m_20t7_new wrench Detection preview by Segmentatation_v8_medium_train_250 wrench Detection preview by Segmentation_V11_large_300_train_300 wrench Detection preview by Segmentation_v8_large_300_train_300
Original Image: P04343.jpg
GT: knife, wrench
knife, wrench Detection preview by Box_v11_medium_train_SIXray_OPIXray No objects detected Detection preview by DN_Medium_300_yolov8m_20t7_new knife, wrench Detection preview by Segmentatation_v8_medium_train_250 knife, wrench Detection preview by Segmentation_V11_large_300_train_300 knife, wrench Detection preview by Segmentation_v8_large_300_train_300
Original Image: P04344.jpg
GT: wrench
wrench Detection preview by Box_v11_medium_train_SIXray_OPIXray No objects detected Detection preview by DN_Medium_300_yolov8m_20t7_new wrench Detection preview by Segmentatation_v8_medium_train_250 scissor, wrench Detection preview by Segmentation_V11_large_300_train_300 wrench Detection preview by Segmentation_v8_large_300_train_300
Original Image: P04345.jpg
GT: pliers
pliers Detection preview by Box_v11_medium_train_SIXray_OPIXray No objects detected Detection preview by DN_Medium_300_yolov8m_20t7_new No objects detected Detection preview by Segmentatation_v8_medium_train_250 No objects detected Detection preview by Segmentation_V11_large_300_train_300 No objects detected Detection preview by Segmentation_v8_large_300_train_300
Original Image: P04346.jpg
GT: pliers
pliers Detection preview by Box_v11_medium_train_SIXray_OPIXray No objects detected Detection preview by DN_Medium_300_yolov8m_20t7_new No objects detected Detection preview by Segmentatation_v8_medium_train_250 No objects detected Detection preview by Segmentation_V11_large_300_train_300 No objects detected Detection preview by Segmentation_v8_large_300_train_300
Original Image: P04347.jpg
GT: pliers
pliers Detection preview by Box_v11_medium_train_SIXray_OPIXray No objects detected Detection preview by DN_Medium_300_yolov8m_20t7_new No objects detected Detection preview by Segmentatation_v8_medium_train_250 No objects detected Detection preview by Segmentation_V11_large_300_train_300 No objects detected Detection preview by Segmentation_v8_large_300_train_300
Original Image: P04348.jpg
GT: pliers
pliers Detection preview by Box_v11_medium_train_SIXray_OPIXray No objects detected Detection preview by DN_Medium_300_yolov8m_20t7_new No objects detected Detection preview by Segmentatation_v8_medium_train_250 No objects detected Detection preview by Segmentation_V11_large_300_train_300 No objects detected Detection preview by Segmentation_v8_large_300_train_300
Original Image: P04349.jpg
GT: pliers, wrench
pliers, wrench Detection preview by Box_v11_medium_train_SIXray_OPIXray No objects detected Detection preview by DN_Medium_300_yolov8m_20t7_new wrench Detection preview by Segmentatation_v8_medium_train_250 wrench Detection preview by Segmentation_V11_large_300_train_300 wrench Detection preview by Segmentation_v8_large_300_train_300
Original Image: P04350.jpg
GT: wrench
wrench Detection preview by Box_v11_medium_train_SIXray_OPIXray No objects detected Detection preview by DN_Medium_300_yolov8m_20t7_new wrench Detection preview by Segmentatation_v8_medium_train_250 wrench Detection preview by Segmentation_V11_large_300_train_300 wrench Detection preview by Segmentation_v8_large_300_train_300
Original Image: P04351.jpg
GT: wrench
wrench Detection preview by Box_v11_medium_train_SIXray_OPIXray No objects detected Detection preview by DN_Medium_300_yolov8m_20t7_new wrench Detection preview by Segmentatation_v8_medium_train_250 wrench Detection preview by Segmentation_V11_large_300_train_300 wrench Detection preview by Segmentation_v8_large_300_train_300
Original Image: P04352.jpg
GT: wrench
wrench Detection preview by Box_v11_medium_train_SIXray_OPIXray No objects detected Detection preview by DN_Medium_300_yolov8m_20t7_new wrench Detection preview by Segmentatation_v8_medium_train_250 wrench Detection preview by Segmentation_V11_large_300_train_300 wrench Detection preview by Segmentation_v8_large_300_train_300
Original Image: P04353.jpg
GT: knife
knife Detection preview by Box_v11_medium_train_SIXray_OPIXray No objects detected Detection preview by DN_Medium_300_yolov8m_20t7_new No objects detected Detection preview by Segmentatation_v8_medium_train_250 No objects detected Detection preview by Segmentation_V11_large_300_train_300 No objects detected Detection preview by Segmentation_v8_large_300_train_300
Original Image: P04354.jpg
GT: knife
knife Detection preview by Box_v11_medium_train_SIXray_OPIXray No objects detected Detection preview by DN_Medium_300_yolov8m_20t7_new No objects detected Detection preview by Segmentatation_v8_medium_train_250 No objects detected Detection preview by Segmentation_V11_large_300_train_300 No objects detected Detection preview by Segmentation_v8_large_300_train_300
Original Image: P04355.jpg
GT: scissors
scissor Detection preview by Box_v11_medium_train_SIXray_OPIXray No objects detected Detection preview by DN_Medium_300_yolov8m_20t7_new scissor Detection preview by Segmentatation_v8_medium_train_250 scissor Detection preview by Segmentation_V11_large_300_train_300 scissor Detection preview by Segmentation_v8_large_300_train_300
Original Image: P04356.jpg
GT: pliers
pliers Detection preview by Box_v11_medium_train_SIXray_OPIXray No objects detected Detection preview by DN_Medium_300_yolov8m_20t7_new No objects detected Detection preview by Segmentatation_v8_medium_train_250 No objects detected Detection preview by Segmentation_V11_large_300_train_300 No objects detected Detection preview by Segmentation_v8_large_300_train_300
Original Image: P04357.jpg
GT: pliers
pliers Detection preview by Box_v11_medium_train_SIXray_OPIXray No objects detected Detection preview by DN_Medium_300_yolov8m_20t7_new No objects detected Detection preview by Segmentatation_v8_medium_train_250 No objects detected Detection preview by Segmentation_V11_large_300_train_300 No objects detected Detection preview by Segmentation_v8_large_300_train_300
Original Image: P04358.jpg
GT: pliers
pliers Detection preview by Box_v11_medium_train_SIXray_OPIXray No objects detected Detection preview by DN_Medium_300_yolov8m_20t7_new No objects detected Detection preview by Segmentatation_v8_medium_train_250 No objects detected Detection preview by Segmentation_V11_large_300_train_300 No objects detected Detection preview by Segmentation_v8_large_300_train_300
Original Image: P04359.jpg
GT: pliers
pliers Detection preview by Box_v11_medium_train_SIXray_OPIXray No objects detected Detection preview by DN_Medium_300_yolov8m_20t7_new No objects detected Detection preview by Segmentatation_v8_medium_train_250 No objects detected Detection preview by Segmentation_V11_large_300_train_300 No objects detected Detection preview by Segmentation_v8_large_300_train_300
Original Image: P04360.jpg
GT: pliers
pliers Detection preview by Box_v11_medium_train_SIXray_OPIXray pliers Detection preview by DN_Medium_300_yolov8m_20t7_new No objects detected Detection preview by Segmentatation_v8_medium_train_250 No objects detected Detection preview by Segmentation_V11_large_300_train_300 No objects detected Detection preview by Segmentation_v8_large_300_train_300
Original Image: P04361.jpg
GT: pliers
pliers Detection preview by Box_v11_medium_train_SIXray_OPIXray pliers Detection preview by DN_Medium_300_yolov8m_20t7_new No objects detected Detection preview by Segmentatation_v8_medium_train_250 No objects detected Detection preview by Segmentation_V11_large_300_train_300 No objects detected Detection preview by Segmentation_v8_large_300_train_300
Original Image: P04362.jpg
GT: pliers
pliers Detection preview by Box_v11_medium_train_SIXray_OPIXray No objects detected Detection preview by DN_Medium_300_yolov8m_20t7_new No objects detected Detection preview by Segmentatation_v8_medium_train_250 No objects detected Detection preview by Segmentation_V11_large_300_train_300 No objects detected Detection preview by Segmentation_v8_large_300_train_300
Original Image: P04363.jpg
GT: scissors
scissor Detection preview by Box_v11_medium_train_SIXray_OPIXray No objects detected Detection preview by DN_Medium_300_yolov8m_20t7_new No objects detected Detection preview by Segmentatation_v8_medium_train_250 No objects detected Detection preview by Segmentation_V11_large_300_train_300 No objects detected Detection preview by Segmentation_v8_large_300_train_300
Original Image: P04364.jpg
GT: wrench
wrench Detection preview by Box_v11_medium_train_SIXray_OPIXray No objects detected Detection preview by DN_Medium_300_yolov8m_20t7_new wrench Detection preview by Segmentatation_v8_medium_train_250 wrench Detection preview by Segmentation_V11_large_300_train_300 wrench Detection preview by Segmentation_v8_large_300_train_300
Original Image: P04365.jpg
GT: wrench
wrench Detection preview by Box_v11_medium_train_SIXray_OPIXray No objects detected Detection preview by DN_Medium_300_yolov8m_20t7_new wrench Detection preview by Segmentatation_v8_medium_train_250 wrench Detection preview by Segmentation_V11_large_300_train_300 wrench Detection preview by Segmentation_v8_large_300_train_300
Original Image: P04366.jpg
GT: scissors
scissor Detection preview by Box_v11_medium_train_SIXray_OPIXray No objects detected Detection preview by DN_Medium_300_yolov8m_20t7_new scissor Detection preview by Segmentatation_v8_medium_train_250 scissor Detection preview by Segmentation_V11_large_300_train_300 scissor Detection preview by Segmentation_v8_large_300_train_300
Original Image: P04367.jpg
GT: scissors
scissor Detection preview by Box_v11_medium_train_SIXray_OPIXray No objects detected Detection preview by DN_Medium_300_yolov8m_20t7_new scissor Detection preview by Segmentatation_v8_medium_train_250 scissor Detection preview by Segmentation_V11_large_300_train_300 scissor Detection preview by Segmentation_v8_large_300_train_300
Original Image: P04368.jpg
GT: scissors
scissor Detection preview by Box_v11_medium_train_SIXray_OPIXray No objects detected Detection preview by DN_Medium_300_yolov8m_20t7_new scissor Detection preview by Segmentatation_v8_medium_train_250 scissor Detection preview by Segmentation_V11_large_300_train_300 scissor Detection preview by Segmentation_v8_large_300_train_300
Original Image: P04369.jpg
GT: wrench
wrench Detection preview by Box_v11_medium_train_SIXray_OPIXray No objects detected Detection preview by DN_Medium_300_yolov8m_20t7_new wrench Detection preview by Segmentatation_v8_medium_train_250 wrench Detection preview by Segmentation_V11_large_300_train_300 wrench Detection preview by Segmentation_v8_large_300_train_300
Original Image: P04370.jpg
GT: wrench
wrench Detection preview by Box_v11_medium_train_SIXray_OPIXray No objects detected Detection preview by DN_Medium_300_yolov8m_20t7_new scissor, wrench Detection preview by Segmentatation_v8_medium_train_250 wrench Detection preview by Segmentation_V11_large_300_train_300 wrench Detection preview by Segmentation_v8_large_300_train_300
Original Image: P04371.jpg
GT: wrench
wrench Detection preview by Box_v11_medium_train_SIXray_OPIXray No objects detected Detection preview by DN_Medium_300_yolov8m_20t7_new wrench Detection preview by Segmentatation_v8_medium_train_250 wrench Detection preview by Segmentation_V11_large_300_train_300 wrench Detection preview by Segmentation_v8_large_300_train_300
Original Image: P04372.jpg
GT: wrench
wrench Detection preview by Box_v11_medium_train_SIXray_OPIXray No objects detected Detection preview by DN_Medium_300_yolov8m_20t7_new wrench Detection preview by Segmentatation_v8_medium_train_250 wrench Detection preview by Segmentation_V11_large_300_train_300 wrench Detection preview by Segmentation_v8_large_300_train_300
Original Image: P04373.jpg
GT: knife
knife Detection preview by Box_v11_medium_train_SIXray_OPIXray No objects detected Detection preview by DN_Medium_300_yolov8m_20t7_new knife Detection preview by Segmentatation_v8_medium_train_250 knife Detection preview by Segmentation_V11_large_300_train_300 knife Detection preview by Segmentation_v8_large_300_train_300
Original Image: P04374.jpg
GT: pliers, wrench
pliers, wrench Detection preview by Box_v11_medium_train_SIXray_OPIXray pliers Detection preview by DN_Medium_300_yolov8m_20t7_new wrench Detection preview by Segmentatation_v8_medium_train_250 wrench Detection preview by Segmentation_V11_large_300_train_300 wrench Detection preview by Segmentation_v8_large_300_train_300
Original Image: P04375.jpg
GT: pliers, wrench
pliers, wrench Detection preview by Box_v11_medium_train_SIXray_OPIXray pliers Detection preview by DN_Medium_300_yolov8m_20t7_new wrench Detection preview by Segmentatation_v8_medium_train_250 wrench Detection preview by Segmentation_V11_large_300_train_300 wrench Detection preview by Segmentation_v8_large_300_train_300
Original Image: P04376.jpg
GT: pliers, wrench
pliers, wrench Detection preview by Box_v11_medium_train_SIXray_OPIXray pliers Detection preview by DN_Medium_300_yolov8m_20t7_new wrench Detection preview by Segmentatation_v8_medium_train_250 wrench Detection preview by Segmentation_V11_large_300_train_300 wrench Detection preview by Segmentation_v8_large_300_train_300
Original Image: P04377.jpg
GT: knife
knife Detection preview by Box_v11_medium_train_SIXray_OPIXray No objects detected Detection preview by DN_Medium_300_yolov8m_20t7_new scissor Detection preview by Segmentatation_v8_medium_train_250 scissor Detection preview by Segmentation_V11_large_300_train_300 scissor Detection preview by Segmentation_v8_large_300_train_300
Original Image: P04378.jpg
GT: knife
knife Detection preview by Box_v11_medium_train_SIXray_OPIXray scissor Detection preview by DN_Medium_300_yolov8m_20t7_new scissor Detection preview by Segmentatation_v8_medium_train_250 scissor Detection preview by Segmentation_V11_large_300_train_300 scissor Detection preview by Segmentation_v8_large_300_train_300
Original Image: P04379.jpg
GT: scissors
scissor Detection preview by Box_v11_medium_train_SIXray_OPIXray No objects detected Detection preview by DN_Medium_300_yolov8m_20t7_new scissor Detection preview by Segmentatation_v8_medium_train_250 scissor Detection preview by Segmentation_V11_large_300_train_300 scissor Detection preview by Segmentation_v8_large_300_train_300
Original Image: P04380.jpg
GT: pliers
pliers Detection preview by Box_v11_medium_train_SIXray_OPIXray No objects detected Detection preview by DN_Medium_300_yolov8m_20t7_new No objects detected Detection preview by Segmentatation_v8_medium_train_250 No objects detected Detection preview by Segmentation_V11_large_300_train_300 No objects detected Detection preview by Segmentation_v8_large_300_train_300
Original Image: P04381.jpg
GT: pliers
pliers Detection preview by Box_v11_medium_train_SIXray_OPIXray pliers Detection preview by DN_Medium_300_yolov8m_20t7_new No objects detected Detection preview by Segmentatation_v8_medium_train_250 No objects detected Detection preview by Segmentation_V11_large_300_train_300 No objects detected Detection preview by Segmentation_v8_large_300_train_300
Original Image: P04382.jpg
GT: pliers
pliers Detection preview by Box_v11_medium_train_SIXray_OPIXray pliers Detection preview by DN_Medium_300_yolov8m_20t7_new No objects detected Detection preview by Segmentatation_v8_medium_train_250 No objects detected Detection preview by Segmentation_V11_large_300_train_300 No objects detected Detection preview by Segmentation_v8_large_300_train_300
Original Image: P04383.jpg
GT: pliers
pliers Detection preview by Box_v11_medium_train_SIXray_OPIXray No objects detected Detection preview by DN_Medium_300_yolov8m_20t7_new No objects detected Detection preview by Segmentatation_v8_medium_train_250 No objects detected Detection preview by Segmentation_V11_large_300_train_300 No objects detected Detection preview by Segmentation_v8_large_300_train_300
Original Image: P04384.jpg
GT: pliers, wrench
pliers, wrench Detection preview by Box_v11_medium_train_SIXray_OPIXray No objects detected Detection preview by DN_Medium_300_yolov8m_20t7_new wrench Detection preview by Segmentatation_v8_medium_train_250 wrench Detection preview by Segmentation_V11_large_300_train_300 wrench Detection preview by Segmentation_v8_large_300_train_300
Original Image: P04385.jpg
GT: knife
knife Detection preview by Box_v11_medium_train_SIXray_OPIXray No objects detected Detection preview by DN_Medium_300_yolov8m_20t7_new knife Detection preview by Segmentatation_v8_medium_train_250 knife Detection preview by Segmentation_V11_large_300_train_300 knife Detection preview by Segmentation_v8_large_300_train_300
Original Image: P04386.jpg
GT: knife
knife Detection preview by Box_v11_medium_train_SIXray_OPIXray No objects detected Detection preview by DN_Medium_300_yolov8m_20t7_new knife Detection preview by Segmentatation_v8_medium_train_250 knife Detection preview by Segmentation_V11_large_300_train_300 knife Detection preview by Segmentation_v8_large_300_train_300
Original Image: P04387.jpg
GT: knife
knife Detection preview by Box_v11_medium_train_SIXray_OPIXray No objects detected Detection preview by DN_Medium_300_yolov8m_20t7_new knife Detection preview by Segmentatation_v8_medium_train_250 knife Detection preview by Segmentation_V11_large_300_train_300 knife Detection preview by Segmentation_v8_large_300_train_300
Original Image: P04388.jpg
GT: knife
knife Detection preview by Box_v11_medium_train_SIXray_OPIXray No objects detected Detection preview by DN_Medium_300_yolov8m_20t7_new knife Detection preview by Segmentatation_v8_medium_train_250 knife Detection preview by Segmentation_V11_large_300_train_300 knife Detection preview by Segmentation_v8_large_300_train_300
Original Image: P04389.jpg
GT: knife
knife Detection preview by Box_v11_medium_train_SIXray_OPIXray No objects detected Detection preview by DN_Medium_300_yolov8m_20t7_new knife Detection preview by Segmentatation_v8_medium_train_250 knife Detection preview by Segmentation_V11_large_300_train_300 knife Detection preview by Segmentation_v8_large_300_train_300
Original Image: P04390.jpg
GT: knife
knife Detection preview by Box_v11_medium_train_SIXray_OPIXray No objects detected Detection preview by DN_Medium_300_yolov8m_20t7_new knife Detection preview by Segmentatation_v8_medium_train_250 knife Detection preview by Segmentation_V11_large_300_train_300 knife Detection preview by Segmentation_v8_large_300_train_300
Original Image: P04391.jpg
GT: knife
knife Detection preview by Box_v11_medium_train_SIXray_OPIXray No objects detected Detection preview by DN_Medium_300_yolov8m_20t7_new knife Detection preview by Segmentatation_v8_medium_train_250 knife Detection preview by Segmentation_V11_large_300_train_300 knife Detection preview by Segmentation_v8_large_300_train_300
Original Image: P04392.jpg
GT: knife
knife Detection preview by Box_v11_medium_train_SIXray_OPIXray No objects detected Detection preview by DN_Medium_300_yolov8m_20t7_new knife Detection preview by Segmentatation_v8_medium_train_250 knife Detection preview by Segmentation_V11_large_300_train_300 knife Detection preview by Segmentation_v8_large_300_train_300
Original Image: P04393.jpg
GT: scissors
scissor Detection preview by Box_v11_medium_train_SIXray_OPIXray No objects detected Detection preview by DN_Medium_300_yolov8m_20t7_new scissor Detection preview by Segmentatation_v8_medium_train_250 scissor Detection preview by Segmentation_V11_large_300_train_300 scissor Detection preview by Segmentation_v8_large_300_train_300
Original Image: P04394.jpg
GT: scissors
scissor Detection preview by Box_v11_medium_train_SIXray_OPIXray No objects detected Detection preview by DN_Medium_300_yolov8m_20t7_new scissor Detection preview by Segmentatation_v8_medium_train_250 scissor Detection preview by Segmentation_V11_large_300_train_300 scissor Detection preview by Segmentation_v8_large_300_train_300
Original Image: P04395.jpg
GT: pliers
pliers Detection preview by Box_v11_medium_train_SIXray_OPIXray pliers Detection preview by DN_Medium_300_yolov8m_20t7_new No objects detected Detection preview by Segmentatation_v8_medium_train_250 No objects detected Detection preview by Segmentation_V11_large_300_train_300 No objects detected Detection preview by Segmentation_v8_large_300_train_300
Original Image: P04396.jpg
GT: pliers
pliers Detection preview by Box_v11_medium_train_SIXray_OPIXray No objects detected Detection preview by DN_Medium_300_yolov8m_20t7_new No objects detected Detection preview by Segmentatation_v8_medium_train_250 No objects detected Detection preview by Segmentation_V11_large_300_train_300 No objects detected Detection preview by Segmentation_v8_large_300_train_300
Original Image: P04397.jpg
GT: knife
knife Detection preview by Box_v11_medium_train_SIXray_OPIXray No objects detected Detection preview by DN_Medium_300_yolov8m_20t7_new scissor Detection preview by Segmentatation_v8_medium_train_250 scissor Detection preview by Segmentation_V11_large_300_train_300 scissor Detection preview by Segmentation_v8_large_300_train_300
Original Image: P04398.jpg
GT: knife
knife Detection preview by Box_v11_medium_train_SIXray_OPIXray No objects detected Detection preview by DN_Medium_300_yolov8m_20t7_new scissor Detection preview by Segmentatation_v8_medium_train_250 scissor Detection preview by Segmentation_V11_large_300_train_300 scissor Detection preview by Segmentation_v8_large_300_train_300
Original Image: P04399.jpg
GT: wrench
wrench Detection preview by Box_v11_medium_train_SIXray_OPIXray wrench Detection preview by DN_Medium_300_yolov8m_20t7_new wrench Detection preview by Segmentatation_v8_medium_train_250 wrench Detection preview by Segmentation_V11_large_300_train_300 wrench Detection preview by Segmentation_v8_large_300_train_300
Original Image: P04400.jpg
GT: wrench
wrench Detection preview by Box_v11_medium_train_SIXray_OPIXray wrench Detection preview by DN_Medium_300_yolov8m_20t7_new wrench Detection preview by Segmentatation_v8_medium_train_250 wrench Detection preview by Segmentation_V11_large_300_train_300 wrench Detection preview by Segmentation_v8_large_300_train_300
Original Image: P04401.jpg
GT: scissors
scissor Detection preview by Box_v11_medium_train_SIXray_OPIXray No objects detected Detection preview by DN_Medium_300_yolov8m_20t7_new scissor Detection preview by Segmentatation_v8_medium_train_250 scissor Detection preview by Segmentation_V11_large_300_train_300 scissor Detection preview by Segmentation_v8_large_300_train_300
Original Image: P04402.jpg
GT: wrench
wrench Detection preview by Box_v11_medium_train_SIXray_OPIXray No objects detected Detection preview by DN_Medium_300_yolov8m_20t7_new wrench Detection preview by Segmentatation_v8_medium_train_250 wrench Detection preview by Segmentation_V11_large_300_train_300 wrench Detection preview by Segmentation_v8_large_300_train_300
Original Image: P04403.jpg
GT: wrench
wrench Detection preview by Box_v11_medium_train_SIXray_OPIXray No objects detected Detection preview by DN_Medium_300_yolov8m_20t7_new wrench Detection preview by Segmentatation_v8_medium_train_250 wrench Detection preview by Segmentation_V11_large_300_train_300 wrench Detection preview by Segmentation_v8_large_300_train_300
Original Image: P04404.jpg
GT: pliers
pliers Detection preview by Box_v11_medium_train_SIXray_OPIXray No objects detected Detection preview by DN_Medium_300_yolov8m_20t7_new No objects detected Detection preview by Segmentatation_v8_medium_train_250 No objects detected Detection preview by Segmentation_V11_large_300_train_300 No objects detected Detection preview by Segmentation_v8_large_300_train_300
Original Image: P04405.jpg
GT: pliers, wrench
pliers, wrench Detection preview by Box_v11_medium_train_SIXray_OPIXray No objects detected Detection preview by DN_Medium_300_yolov8m_20t7_new wrench Detection preview by Segmentatation_v8_medium_train_250 wrench Detection preview by Segmentation_V11_large_300_train_300 wrench Detection preview by Segmentation_v8_large_300_train_300
Original Image: P04406.jpg
GT: pliers, wrench
pliers, wrench Detection preview by Box_v11_medium_train_SIXray_OPIXray No objects detected Detection preview by DN_Medium_300_yolov8m_20t7_new wrench Detection preview by Segmentatation_v8_medium_train_250 wrench Detection preview by Segmentation_V11_large_300_train_300 wrench Detection preview by Segmentation_v8_large_300_train_300
Original Image: P04407.jpg
GT: scissors
scissor Detection preview by Box_v11_medium_train_SIXray_OPIXray No objects detected Detection preview by DN_Medium_300_yolov8m_20t7_new scissor Detection preview by Segmentatation_v8_medium_train_250 scissor Detection preview by Segmentation_V11_large_300_train_300 scissor Detection preview by Segmentation_v8_large_300_train_300
Original Image: P04408.jpg
GT: scissors
scissor Detection preview by Box_v11_medium_train_SIXray_OPIXray No objects detected Detection preview by DN_Medium_300_yolov8m_20t7_new scissor Detection preview by Segmentatation_v8_medium_train_250 scissor Detection preview by Segmentation_V11_large_300_train_300 scissor Detection preview by Segmentation_v8_large_300_train_300
Original Image: P04409.jpg
GT: scissors
scissor Detection preview by Box_v11_medium_train_SIXray_OPIXray scissor Detection preview by DN_Medium_300_yolov8m_20t7_new scissor Detection preview by Segmentatation_v8_medium_train_250 scissor Detection preview by Segmentation_V11_large_300_train_300 scissor Detection preview by Segmentation_v8_large_300_train_300
Original Image: P04410.jpg
GT: knife
knife Detection preview by Box_v11_medium_train_SIXray_OPIXray scissor Detection preview by DN_Medium_300_yolov8m_20t7_new knife Detection preview by Segmentatation_v8_medium_train_250 knife Detection preview by Segmentation_V11_large_300_train_300 knife Detection preview by Segmentation_v8_large_300_train_300
Original Image: P04411.jpg
GT: knife
knife Detection preview by Box_v11_medium_train_SIXray_OPIXray No objects detected Detection preview by DN_Medium_300_yolov8m_20t7_new knife Detection preview by Segmentatation_v8_medium_train_250 knife Detection preview by Segmentation_V11_large_300_train_300 knife Detection preview by Segmentation_v8_large_300_train_300
Original Image: P04412.jpg
GT: knife
knife Detection preview by Box_v11_medium_train_SIXray_OPIXray No objects detected Detection preview by DN_Medium_300_yolov8m_20t7_new knife Detection preview by Segmentatation_v8_medium_train_250 knife Detection preview by Segmentation_V11_large_300_train_300 knife Detection preview by Segmentation_v8_large_300_train_300
Original Image: P04413.jpg
GT: wrench
wrench Detection preview by Box_v11_medium_train_SIXray_OPIXray No objects detected Detection preview by DN_Medium_300_yolov8m_20t7_new wrench Detection preview by Segmentatation_v8_medium_train_250 wrench Detection preview by Segmentation_V11_large_300_train_300 wrench Detection preview by Segmentation_v8_large_300_train_300
Original Image: P04414.jpg
GT: wrench
wrench Detection preview by Box_v11_medium_train_SIXray_OPIXray No objects detected Detection preview by DN_Medium_300_yolov8m_20t7_new wrench Detection preview by Segmentatation_v8_medium_train_250 wrench Detection preview by Segmentation_V11_large_300_train_300 wrench Detection preview by Segmentation_v8_large_300_train_300
Original Image: P04415.jpg
GT: knife
knife Detection preview by Box_v11_medium_train_SIXray_OPIXray No objects detected Detection preview by DN_Medium_300_yolov8m_20t7_new No objects detected Detection preview by Segmentatation_v8_medium_train_250 No objects detected Detection preview by Segmentation_V11_large_300_train_300 No objects detected Detection preview by Segmentation_v8_large_300_train_300
Original Image: P04416.jpg
GT: scissors
scissor Detection preview by Box_v11_medium_train_SIXray_OPIXray No objects detected Detection preview by DN_Medium_300_yolov8m_20t7_new scissor Detection preview by Segmentatation_v8_medium_train_250 scissor Detection preview by Segmentation_V11_large_300_train_300 scissor Detection preview by Segmentation_v8_large_300_train_300
Original Image: P04417.jpg
GT: scissors
scissor Detection preview by Box_v11_medium_train_SIXray_OPIXray No objects detected Detection preview by DN_Medium_300_yolov8m_20t7_new scissor Detection preview by Segmentatation_v8_medium_train_250 scissor Detection preview by Segmentation_V11_large_300_train_300 scissor Detection preview by Segmentation_v8_large_300_train_300
Original Image: P04418.jpg
GT: pliers
pliers Detection preview by Box_v11_medium_train_SIXray_OPIXray No objects detected Detection preview by DN_Medium_300_yolov8m_20t7_new No objects detected Detection preview by Segmentatation_v8_medium_train_250 No objects detected Detection preview by Segmentation_V11_large_300_train_300 No objects detected Detection preview by Segmentation_v8_large_300_train_300
Original Image: P04419.jpg
GT: wrench
wrench Detection preview by Box_v11_medium_train_SIXray_OPIXray No objects detected Detection preview by DN_Medium_300_yolov8m_20t7_new wrench Detection preview by Segmentatation_v8_medium_train_250 wrench Detection preview by Segmentation_V11_large_300_train_300 wrench Detection preview by Segmentation_v8_large_300_train_300
Original Image: P04420.jpg
GT: wrench
wrench Detection preview by Box_v11_medium_train_SIXray_OPIXray No objects detected Detection preview by DN_Medium_300_yolov8m_20t7_new wrench Detection preview by Segmentatation_v8_medium_train_250 wrench Detection preview by Segmentation_V11_large_300_train_300 wrench Detection preview by Segmentation_v8_large_300_train_300
Original Image: P04421.jpg
GT: pliers
pliers Detection preview by Box_v11_medium_train_SIXray_OPIXray No objects detected Detection preview by DN_Medium_300_yolov8m_20t7_new No objects detected Detection preview by Segmentatation_v8_medium_train_250 No objects detected Detection preview by Segmentation_V11_large_300_train_300 No objects detected Detection preview by Segmentation_v8_large_300_train_300
Original Image: P04422.jpg
GT: scissors
scissor Detection preview by Box_v11_medium_train_SIXray_OPIXray scissor Detection preview by DN_Medium_300_yolov8m_20t7_new scissor Detection preview by Segmentatation_v8_medium_train_250 scissor Detection preview by Segmentation_V11_large_300_train_300 scissor Detection preview by Segmentation_v8_large_300_train_300
Original Image: P04423.jpg
GT: scissors
scissor Detection preview by Box_v11_medium_train_SIXray_OPIXray scissor Detection preview by DN_Medium_300_yolov8m_20t7_new scissor Detection preview by Segmentatation_v8_medium_train_250 scissor Detection preview by Segmentation_V11_large_300_train_300 scissor Detection preview by Segmentation_v8_large_300_train_300
Original Image: P04424.jpg
GT: pliers
pliers Detection preview by Box_v11_medium_train_SIXray_OPIXray No objects detected Detection preview by DN_Medium_300_yolov8m_20t7_new No objects detected Detection preview by Segmentatation_v8_medium_train_250 No objects detected Detection preview by Segmentation_V11_large_300_train_300 No objects detected Detection preview by Segmentation_v8_large_300_train_300
Original Image: P04425.jpg
GT: pliers
pliers Detection preview by Box_v11_medium_train_SIXray_OPIXray No objects detected Detection preview by DN_Medium_300_yolov8m_20t7_new No objects detected Detection preview by Segmentatation_v8_medium_train_250 wrench Detection preview by Segmentation_V11_large_300_train_300 No objects detected Detection preview by Segmentation_v8_large_300_train_300
Original Image: P04426.jpg
GT: wrench
wrench Detection preview by Box_v11_medium_train_SIXray_OPIXray No objects detected Detection preview by DN_Medium_300_yolov8m_20t7_new wrench Detection preview by Segmentatation_v8_medium_train_250 wrench Detection preview by Segmentation_V11_large_300_train_300 wrench Detection preview by Segmentation_v8_large_300_train_300
Original Image: P04427.jpg
GT: knife
knife Detection preview by Box_v11_medium_train_SIXray_OPIXray No objects detected Detection preview by DN_Medium_300_yolov8m_20t7_new knife Detection preview by Segmentatation_v8_medium_train_250 knife Detection preview by Segmentation_V11_large_300_train_300 knife Detection preview by Segmentation_v8_large_300_train_300
Original Image: P04428.jpg
GT: knife
knife Detection preview by Box_v11_medium_train_SIXray_OPIXray No objects detected Detection preview by DN_Medium_300_yolov8m_20t7_new knife Detection preview by Segmentatation_v8_medium_train_250 knife Detection preview by Segmentation_V11_large_300_train_300 knife Detection preview by Segmentation_v8_large_300_train_300
Original Image: P04429.jpg
GT: pliers
pliers Detection preview by Box_v11_medium_train_SIXray_OPIXray pliers Detection preview by DN_Medium_300_yolov8m_20t7_new No objects detected Detection preview by Segmentatation_v8_medium_train_250 No objects detected Detection preview by Segmentation_V11_large_300_train_300 No objects detected Detection preview by Segmentation_v8_large_300_train_300
Original Image: P04430.jpg
GT: pliers
pliers Detection preview by Box_v11_medium_train_SIXray_OPIXray No objects detected Detection preview by DN_Medium_300_yolov8m_20t7_new No objects detected Detection preview by Segmentatation_v8_medium_train_250 No objects detected Detection preview by Segmentation_V11_large_300_train_300 No objects detected Detection preview by Segmentation_v8_large_300_train_300
Original Image: P04431.jpg
GT: pliers
pliers Detection preview by Box_v11_medium_train_SIXray_OPIXray No objects detected Detection preview by DN_Medium_300_yolov8m_20t7_new No objects detected Detection preview by Segmentatation_v8_medium_train_250 No objects detected Detection preview by Segmentation_V11_large_300_train_300 No objects detected Detection preview by Segmentation_v8_large_300_train_300
Original Image: P04432.jpg
GT: pliers
pliers Detection preview by Box_v11_medium_train_SIXray_OPIXray No objects detected Detection preview by DN_Medium_300_yolov8m_20t7_new No objects detected Detection preview by Segmentatation_v8_medium_train_250 No objects detected Detection preview by Segmentation_V11_large_300_train_300 No objects detected Detection preview by Segmentation_v8_large_300_train_300
Original Image: P04433.jpg
GT: scissors
scissor Detection preview by Box_v11_medium_train_SIXray_OPIXray scissor Detection preview by DN_Medium_300_yolov8m_20t7_new scissor Detection preview by Segmentatation_v8_medium_train_250 scissor Detection preview by Segmentation_V11_large_300_train_300 scissor Detection preview by Segmentation_v8_large_300_train_300
Original Image: P04434.jpg
GT: wrench
wrench Detection preview by Box_v11_medium_train_SIXray_OPIXray No objects detected Detection preview by DN_Medium_300_yolov8m_20t7_new wrench Detection preview by Segmentatation_v8_medium_train_250 wrench Detection preview by Segmentation_V11_large_300_train_300 wrench Detection preview by Segmentation_v8_large_300_train_300
Original Image: P04435.jpg
GT: pliers
pliers Detection preview by Box_v11_medium_train_SIXray_OPIXray No objects detected Detection preview by DN_Medium_300_yolov8m_20t7_new No objects detected Detection preview by Segmentatation_v8_medium_train_250 No objects detected Detection preview by Segmentation_V11_large_300_train_300 No objects detected Detection preview by Segmentation_v8_large_300_train_300
Original Image: P04436.jpg
GT: pliers, wrench
pliers, wrench Detection preview by Box_v11_medium_train_SIXray_OPIXray No objects detected Detection preview by DN_Medium_300_yolov8m_20t7_new wrench Detection preview by Segmentatation_v8_medium_train_250 wrench Detection preview by Segmentation_V11_large_300_train_300 wrench Detection preview by Segmentation_v8_large_300_train_300
Original Image: P04437.jpg
GT: pliers, wrench
pliers, wrench Detection preview by Box_v11_medium_train_SIXray_OPIXray No objects detected Detection preview by DN_Medium_300_yolov8m_20t7_new wrench Detection preview by Segmentatation_v8_medium_train_250 wrench Detection preview by Segmentation_V11_large_300_train_300 wrench Detection preview by Segmentation_v8_large_300_train_300
Original Image: P04438.jpg
GT: pliers
pliers Detection preview by Box_v11_medium_train_SIXray_OPIXray No objects detected Detection preview by DN_Medium_300_yolov8m_20t7_new No objects detected Detection preview by Segmentatation_v8_medium_train_250 No objects detected Detection preview by Segmentation_V11_large_300_train_300 No objects detected Detection preview by Segmentation_v8_large_300_train_300
Original Image: P04439.jpg
GT: pliers
pliers Detection preview by Box_v11_medium_train_SIXray_OPIXray No objects detected Detection preview by DN_Medium_300_yolov8m_20t7_new No objects detected Detection preview by Segmentatation_v8_medium_train_250 No objects detected Detection preview by Segmentation_V11_large_300_train_300 No objects detected Detection preview by Segmentation_v8_large_300_train_300
Original Image: P04440.jpg
GT: pliers
pliers Detection preview by Box_v11_medium_train_SIXray_OPIXray No objects detected Detection preview by DN_Medium_300_yolov8m_20t7_new No objects detected Detection preview by Segmentatation_v8_medium_train_250 No objects detected Detection preview by Segmentation_V11_large_300_train_300 No objects detected Detection preview by Segmentation_v8_large_300_train_300
Original Image: P04441.jpg
GT: pliers
pliers Detection preview by Box_v11_medium_train_SIXray_OPIXray pliers Detection preview by DN_Medium_300_yolov8m_20t7_new No objects detected Detection preview by Segmentatation_v8_medium_train_250 No objects detected Detection preview by Segmentation_V11_large_300_train_300 No objects detected Detection preview by Segmentation_v8_large_300_train_300
Original Image: P04442.jpg
GT: pliers
pliers Detection preview by Box_v11_medium_train_SIXray_OPIXray pliers Detection preview by DN_Medium_300_yolov8m_20t7_new No objects detected Detection preview by Segmentatation_v8_medium_train_250 No objects detected Detection preview by Segmentation_V11_large_300_train_300 No objects detected Detection preview by Segmentation_v8_large_300_train_300
Original Image: P04443.jpg
GT: pliers
pliers Detection preview by Box_v11_medium_train_SIXray_OPIXray pliers Detection preview by DN_Medium_300_yolov8m_20t7_new No objects detected Detection preview by Segmentatation_v8_medium_train_250 No objects detected Detection preview by Segmentation_V11_large_300_train_300 No objects detected Detection preview by Segmentation_v8_large_300_train_300
Original Image: P04444.jpg
GT: wrench
wrench Detection preview by Box_v11_medium_train_SIXray_OPIXray No objects detected Detection preview by DN_Medium_300_yolov8m_20t7_new wrench Detection preview by Segmentatation_v8_medium_train_250 wrench Detection preview by Segmentation_V11_large_300_train_300 wrench Detection preview by Segmentation_v8_large_300_train_300
Original Image: P04445.jpg
GT: pliers
pliers Detection preview by Box_v11_medium_train_SIXray_OPIXray No objects detected Detection preview by DN_Medium_300_yolov8m_20t7_new No objects detected Detection preview by Segmentatation_v8_medium_train_250 No objects detected Detection preview by Segmentation_V11_large_300_train_300 No objects detected Detection preview by Segmentation_v8_large_300_train_300
Original Image: P04446.jpg
GT: pliers
pliers Detection preview by Box_v11_medium_train_SIXray_OPIXray No objects detected Detection preview by DN_Medium_300_yolov8m_20t7_new No objects detected Detection preview by Segmentatation_v8_medium_train_250 No objects detected Detection preview by Segmentation_V11_large_300_train_300 No objects detected Detection preview by Segmentation_v8_large_300_train_300
Original Image: P04447.jpg
GT: scissors
No objects detected Detection preview by Box_v11_medium_train_SIXray_OPIXray No objects detected Detection preview by DN_Medium_300_yolov8m_20t7_new No objects detected Detection preview by Segmentatation_v8_medium_train_250 No objects detected Detection preview by Segmentation_V11_large_300_train_300 scissor Detection preview by Segmentation_v8_large_300_train_300
Original Image: P04448.jpg
GT: scissors
scissor Detection preview by Box_v11_medium_train_SIXray_OPIXray scissor Detection preview by DN_Medium_300_yolov8m_20t7_new scissor Detection preview by Segmentatation_v8_medium_train_250 scissor Detection preview by Segmentation_V11_large_300_train_300 scissor Detection preview by Segmentation_v8_large_300_train_300
Original Image: P04449.jpg
GT: scissors
scissor Detection preview by Box_v11_medium_train_SIXray_OPIXray No objects detected Detection preview by DN_Medium_300_yolov8m_20t7_new scissor Detection preview by Segmentatation_v8_medium_train_250 scissor Detection preview by Segmentation_V11_large_300_train_300 scissor Detection preview by Segmentation_v8_large_300_train_300
Original Image: P04450.jpg
GT: pliers
pliers Detection preview by Box_v11_medium_train_SIXray_OPIXray No objects detected Detection preview by DN_Medium_300_yolov8m_20t7_new No objects detected Detection preview by Segmentatation_v8_medium_train_250 No objects detected Detection preview by Segmentation_V11_large_300_train_300 No objects detected Detection preview by Segmentation_v8_large_300_train_300
Original Image: P04451.jpg
GT: scissors
scissor Detection preview by Box_v11_medium_train_SIXray_OPIXray scissor Detection preview by DN_Medium_300_yolov8m_20t7_new scissor Detection preview by Segmentatation_v8_medium_train_250 scissor Detection preview by Segmentation_V11_large_300_train_300 scissor Detection preview by Segmentation_v8_large_300_train_300
Original Image: P04452.jpg
GT: wrench
wrench Detection preview by Box_v11_medium_train_SIXray_OPIXray No objects detected Detection preview by DN_Medium_300_yolov8m_20t7_new wrench Detection preview by Segmentatation_v8_medium_train_250 wrench Detection preview by Segmentation_V11_large_300_train_300 wrench Detection preview by Segmentation_v8_large_300_train_300
Original Image: P04453.jpg
GT: wrench
wrench Detection preview by Box_v11_medium_train_SIXray_OPIXray No objects detected Detection preview by DN_Medium_300_yolov8m_20t7_new wrench Detection preview by Segmentatation_v8_medium_train_250 wrench Detection preview by Segmentation_V11_large_300_train_300 wrench Detection preview by Segmentation_v8_large_300_train_300
Original Image: P04454.jpg
GT: wrench
wrench Detection preview by Box_v11_medium_train_SIXray_OPIXray No objects detected Detection preview by DN_Medium_300_yolov8m_20t7_new wrench Detection preview by Segmentatation_v8_medium_train_250 wrench Detection preview by Segmentation_V11_large_300_train_300 wrench Detection preview by Segmentation_v8_large_300_train_300
Original Image: P04455.jpg
GT: pliers
pliers Detection preview by Box_v11_medium_train_SIXray_OPIXray No objects detected Detection preview by DN_Medium_300_yolov8m_20t7_new knife Detection preview by Segmentatation_v8_medium_train_250 No objects detected Detection preview by Segmentation_V11_large_300_train_300 No objects detected Detection preview by Segmentation_v8_large_300_train_300
Original Image: P04456.jpg
GT: pliers
pliers Detection preview by Box_v11_medium_train_SIXray_OPIXray pliers Detection preview by DN_Medium_300_yolov8m_20t7_new No objects detected Detection preview by Segmentatation_v8_medium_train_250 No objects detected Detection preview by Segmentation_V11_large_300_train_300 No objects detected Detection preview by Segmentation_v8_large_300_train_300
Original Image: P04457.jpg
GT: pliers
pliers Detection preview by Box_v11_medium_train_SIXray_OPIXray No objects detected Detection preview by DN_Medium_300_yolov8m_20t7_new wrench Detection preview by Segmentatation_v8_medium_train_250 wrench Detection preview by Segmentation_V11_large_300_train_300 wrench Detection preview by Segmentation_v8_large_300_train_300
Original Image: P04458.jpg
GT: wrench
wrench Detection preview by Box_v11_medium_train_SIXray_OPIXray No objects detected Detection preview by DN_Medium_300_yolov8m_20t7_new wrench Detection preview by Segmentatation_v8_medium_train_250 scissor, wrench Detection preview by Segmentation_V11_large_300_train_300 scissor, wrench Detection preview by Segmentation_v8_large_300_train_300
Original Image: P04459.jpg
GT: pliers, wrench
pliers, wrench Detection preview by Box_v11_medium_train_SIXray_OPIXray pliers Detection preview by DN_Medium_300_yolov8m_20t7_new wrench Detection preview by Segmentatation_v8_medium_train_250 wrench Detection preview by Segmentation_V11_large_300_train_300 wrench Detection preview by Segmentation_v8_large_300_train_300
Original Image: P04460.jpg
GT: scissors
scissor Detection preview by Box_v11_medium_train_SIXray_OPIXray No objects detected Detection preview by DN_Medium_300_yolov8m_20t7_new scissor Detection preview by Segmentatation_v8_medium_train_250 scissor Detection preview by Segmentation_V11_large_300_train_300 scissor Detection preview by Segmentation_v8_large_300_train_300
Original Image: P04461.jpg
GT: pliers
pliers Detection preview by Box_v11_medium_train_SIXray_OPIXray No objects detected Detection preview by DN_Medium_300_yolov8m_20t7_new No objects detected Detection preview by Segmentatation_v8_medium_train_250 No objects detected Detection preview by Segmentation_V11_large_300_train_300 No objects detected Detection preview by Segmentation_v8_large_300_train_300
Original Image: P04462.jpg
GT: pliers
pliers Detection preview by Box_v11_medium_train_SIXray_OPIXray No objects detected Detection preview by DN_Medium_300_yolov8m_20t7_new No objects detected Detection preview by Segmentatation_v8_medium_train_250 No objects detected Detection preview by Segmentation_V11_large_300_train_300 No objects detected Detection preview by Segmentation_v8_large_300_train_300
Original Image: P04463.jpg
GT: scissors
scissor Detection preview by Box_v11_medium_train_SIXray_OPIXray No objects detected Detection preview by DN_Medium_300_yolov8m_20t7_new scissor Detection preview by Segmentatation_v8_medium_train_250 scissor Detection preview by Segmentation_V11_large_300_train_300 scissor Detection preview by Segmentation_v8_large_300_train_300
Original Image: P04464.jpg
GT: pliers
pliers Detection preview by Box_v11_medium_train_SIXray_OPIXray No objects detected Detection preview by DN_Medium_300_yolov8m_20t7_new No objects detected Detection preview by Segmentatation_v8_medium_train_250 No objects detected Detection preview by Segmentation_V11_large_300_train_300 No objects detected Detection preview by Segmentation_v8_large_300_train_300
Original Image: P04465.jpg
GT: pliers
pliers Detection preview by Box_v11_medium_train_SIXray_OPIXray pliers Detection preview by DN_Medium_300_yolov8m_20t7_new No objects detected Detection preview by Segmentatation_v8_medium_train_250 No objects detected Detection preview by Segmentation_V11_large_300_train_300 No objects detected Detection preview by Segmentation_v8_large_300_train_300
Original Image: P04466.jpg
GT: pliers, wrench
pliers, wrench Detection preview by Box_v11_medium_train_SIXray_OPIXray No objects detected Detection preview by DN_Medium_300_yolov8m_20t7_new wrench Detection preview by Segmentatation_v8_medium_train_250 wrench Detection preview by Segmentation_V11_large_300_train_300 wrench Detection preview by Segmentation_v8_large_300_train_300
Original Image: P04467.jpg
GT: pliers, wrench
pliers, wrench Detection preview by Box_v11_medium_train_SIXray_OPIXray No objects detected Detection preview by DN_Medium_300_yolov8m_20t7_new wrench Detection preview by Segmentatation_v8_medium_train_250 wrench Detection preview by Segmentation_V11_large_300_train_300 wrench Detection preview by Segmentation_v8_large_300_train_300
Original Image: P04468.jpg
GT: pliers, wrench
pliers, wrench Detection preview by Box_v11_medium_train_SIXray_OPIXray No objects detected Detection preview by DN_Medium_300_yolov8m_20t7_new wrench Detection preview by Segmentatation_v8_medium_train_250 wrench Detection preview by Segmentation_V11_large_300_train_300 wrench Detection preview by Segmentation_v8_large_300_train_300
Original Image: P04469.jpg
GT: pliers
pliers Detection preview by Box_v11_medium_train_SIXray_OPIXray No objects detected Detection preview by DN_Medium_300_yolov8m_20t7_new No objects detected Detection preview by Segmentatation_v8_medium_train_250 No objects detected Detection preview by Segmentation_V11_large_300_train_300 No objects detected Detection preview by Segmentation_v8_large_300_train_300
Original Image: P04470.jpg
GT: pliers
pliers Detection preview by Box_v11_medium_train_SIXray_OPIXray No objects detected Detection preview by DN_Medium_300_yolov8m_20t7_new No objects detected Detection preview by Segmentatation_v8_medium_train_250 No objects detected Detection preview by Segmentation_V11_large_300_train_300 No objects detected Detection preview by Segmentation_v8_large_300_train_300
Original Image: P04471.jpg
GT: pliers
pliers Detection preview by Box_v11_medium_train_SIXray_OPIXray No objects detected Detection preview by DN_Medium_300_yolov8m_20t7_new No objects detected Detection preview by Segmentatation_v8_medium_train_250 No objects detected Detection preview by Segmentation_V11_large_300_train_300 No objects detected Detection preview by Segmentation_v8_large_300_train_300
Original Image: P04472.jpg
GT: pliers, scissors
pliers, scissor Detection preview by Box_v11_medium_train_SIXray_OPIXray No objects detected Detection preview by DN_Medium_300_yolov8m_20t7_new scissor Detection preview by Segmentatation_v8_medium_train_250 scissor Detection preview by Segmentation_V11_large_300_train_300 scissor Detection preview by Segmentation_v8_large_300_train_300
Original Image: P04473.jpg
GT: scissors
scissor Detection preview by Box_v11_medium_train_SIXray_OPIXray scissor Detection preview by DN_Medium_300_yolov8m_20t7_new scissor Detection preview by Segmentatation_v8_medium_train_250 scissor Detection preview by Segmentation_V11_large_300_train_300 scissor Detection preview by Segmentation_v8_large_300_train_300
Original Image: P04474.jpg
GT: scissors
scissor Detection preview by Box_v11_medium_train_SIXray_OPIXray No objects detected Detection preview by DN_Medium_300_yolov8m_20t7_new scissor Detection preview by Segmentatation_v8_medium_train_250 scissor Detection preview by Segmentation_V11_large_300_train_300 scissor Detection preview by Segmentation_v8_large_300_train_300
Original Image: P04475.jpg
GT: scissors
scissor Detection preview by Box_v11_medium_train_SIXray_OPIXray No objects detected Detection preview by DN_Medium_300_yolov8m_20t7_new scissor Detection preview by Segmentatation_v8_medium_train_250 scissor Detection preview by Segmentation_V11_large_300_train_300 scissor Detection preview by Segmentation_v8_large_300_train_300
Original Image: P04476.jpg
GT: pliers, wrench
pliers, wrench Detection preview by Box_v11_medium_train_SIXray_OPIXray No objects detected Detection preview by DN_Medium_300_yolov8m_20t7_new scissor, wrench Detection preview by Segmentatation_v8_medium_train_250 wrench Detection preview by Segmentation_V11_large_300_train_300 scissor, wrench Detection preview by Segmentation_v8_large_300_train_300
Original Image: P04477.jpg
GT: pliers, wrench
pliers, wrench Detection preview by Box_v11_medium_train_SIXray_OPIXray No objects detected Detection preview by DN_Medium_300_yolov8m_20t7_new scissor, wrench Detection preview by Segmentatation_v8_medium_train_250 wrench Detection preview by Segmentation_V11_large_300_train_300 scissor, wrench Detection preview by Segmentation_v8_large_300_train_300
Original Image: P04478.jpg
GT: pliers
pliers Detection preview by Box_v11_medium_train_SIXray_OPIXray No objects detected Detection preview by DN_Medium_300_yolov8m_20t7_new No objects detected Detection preview by Segmentatation_v8_medium_train_250 wrench Detection preview by Segmentation_V11_large_300_train_300 No objects detected Detection preview by Segmentation_v8_large_300_train_300
Original Image: P04479.jpg
GT: pliers
pliers Detection preview by Box_v11_medium_train_SIXray_OPIXray No objects detected Detection preview by DN_Medium_300_yolov8m_20t7_new No objects detected Detection preview by Segmentatation_v8_medium_train_250 No objects detected Detection preview by Segmentation_V11_large_300_train_300 No objects detected Detection preview by Segmentation_v8_large_300_train_300
Original Image: P04480.jpg
GT: pliers
pliers Detection preview by Box_v11_medium_train_SIXray_OPIXray No objects detected Detection preview by DN_Medium_300_yolov8m_20t7_new No objects detected Detection preview by Segmentatation_v8_medium_train_250 No objects detected Detection preview by Segmentation_V11_large_300_train_300 No objects detected Detection preview by Segmentation_v8_large_300_train_300
Original Image: P04481.jpg
GT: wrench
wrench Detection preview by Box_v11_medium_train_SIXray_OPIXray No objects detected Detection preview by DN_Medium_300_yolov8m_20t7_new wrench Detection preview by Segmentatation_v8_medium_train_250 wrench Detection preview by Segmentation_V11_large_300_train_300 wrench Detection preview by Segmentation_v8_large_300_train_300
Original Image: P04482.jpg
GT: pliers, wrench
pliers, wrench Detection preview by Box_v11_medium_train_SIXray_OPIXray No objects detected Detection preview by DN_Medium_300_yolov8m_20t7_new wrench Detection preview by Segmentatation_v8_medium_train_250 wrench Detection preview by Segmentation_V11_large_300_train_300 wrench Detection preview by Segmentation_v8_large_300_train_300
Original Image: P04483.jpg
GT: pliers, wrench
pliers, wrench Detection preview by Box_v11_medium_train_SIXray_OPIXray No objects detected Detection preview by DN_Medium_300_yolov8m_20t7_new wrench Detection preview by Segmentatation_v8_medium_train_250 wrench Detection preview by Segmentation_V11_large_300_train_300 wrench Detection preview by Segmentation_v8_large_300_train_300
Original Image: P04484.jpg
GT: pliers
pliers Detection preview by Box_v11_medium_train_SIXray_OPIXray No objects detected Detection preview by DN_Medium_300_yolov8m_20t7_new No objects detected Detection preview by Segmentatation_v8_medium_train_250 No objects detected Detection preview by Segmentation_V11_large_300_train_300 No objects detected Detection preview by Segmentation_v8_large_300_train_300
Original Image: P04485.jpg
GT: pliers
pliers Detection preview by Box_v11_medium_train_SIXray_OPIXray No objects detected Detection preview by DN_Medium_300_yolov8m_20t7_new No objects detected Detection preview by Segmentatation_v8_medium_train_250 No objects detected Detection preview by Segmentation_V11_large_300_train_300 No objects detected Detection preview by Segmentation_v8_large_300_train_300
Original Image: P04486.jpg
GT: pliers
pliers Detection preview by Box_v11_medium_train_SIXray_OPIXray No objects detected Detection preview by DN_Medium_300_yolov8m_20t7_new No objects detected Detection preview by Segmentatation_v8_medium_train_250 No objects detected Detection preview by Segmentation_V11_large_300_train_300 No objects detected Detection preview by Segmentation_v8_large_300_train_300
Original Image: P04487.jpg
GT: wrench
wrench Detection preview by Box_v11_medium_train_SIXray_OPIXray No objects detected Detection preview by DN_Medium_300_yolov8m_20t7_new wrench Detection preview by Segmentatation_v8_medium_train_250 wrench Detection preview by Segmentation_V11_large_300_train_300 wrench Detection preview by Segmentation_v8_large_300_train_300
Original Image: P04488.jpg
GT: pliers
pliers Detection preview by Box_v11_medium_train_SIXray_OPIXray No objects detected Detection preview by DN_Medium_300_yolov8m_20t7_new No objects detected Detection preview by Segmentatation_v8_medium_train_250 No objects detected Detection preview by Segmentation_V11_large_300_train_300 No objects detected Detection preview by Segmentation_v8_large_300_train_300
Original Image: P04489.jpg
GT: pliers
pliers Detection preview by Box_v11_medium_train_SIXray_OPIXray No objects detected Detection preview by DN_Medium_300_yolov8m_20t7_new No objects detected Detection preview by Segmentatation_v8_medium_train_250 No objects detected Detection preview by Segmentation_V11_large_300_train_300 No objects detected Detection preview by Segmentation_v8_large_300_train_300
Original Image: P04490.jpg
GT: wrench
wrench Detection preview by Box_v11_medium_train_SIXray_OPIXray No objects detected Detection preview by DN_Medium_300_yolov8m_20t7_new wrench Detection preview by Segmentatation_v8_medium_train_250 wrench Detection preview by Segmentation_V11_large_300_train_300 wrench Detection preview by Segmentation_v8_large_300_train_300
Original Image: P04491.jpg
GT: pliers
pliers Detection preview by Box_v11_medium_train_SIXray_OPIXray No objects detected Detection preview by DN_Medium_300_yolov8m_20t7_new No objects detected Detection preview by Segmentatation_v8_medium_train_250 No objects detected Detection preview by Segmentation_V11_large_300_train_300 No objects detected Detection preview by Segmentation_v8_large_300_train_300
Original Image: P04492.jpg
GT: pliers, wrench
pliers, wrench Detection preview by Box_v11_medium_train_SIXray_OPIXray No objects detected Detection preview by DN_Medium_300_yolov8m_20t7_new wrench Detection preview by Segmentatation_v8_medium_train_250 wrench Detection preview by Segmentation_V11_large_300_train_300 wrench Detection preview by Segmentation_v8_large_300_train_300
Original Image: P04493.jpg
GT: pliers, wrench
pliers, wrench Detection preview by Box_v11_medium_train_SIXray_OPIXray No objects detected Detection preview by DN_Medium_300_yolov8m_20t7_new wrench Detection preview by Segmentatation_v8_medium_train_250 wrench Detection preview by Segmentation_V11_large_300_train_300 wrench Detection preview by Segmentation_v8_large_300_train_300
Original Image: P04494.jpg
GT: wrench
wrench Detection preview by Box_v11_medium_train_SIXray_OPIXray No objects detected Detection preview by DN_Medium_300_yolov8m_20t7_new wrench Detection preview by Segmentatation_v8_medium_train_250 wrench Detection preview by Segmentation_V11_large_300_train_300 wrench Detection preview by Segmentation_v8_large_300_train_300
Original Image: P04495.jpg
GT: wrench
wrench Detection preview by Box_v11_medium_train_SIXray_OPIXray No objects detected Detection preview by DN_Medium_300_yolov8m_20t7_new wrench Detection preview by Segmentatation_v8_medium_train_250 wrench Detection preview by Segmentation_V11_large_300_train_300 wrench Detection preview by Segmentation_v8_large_300_train_300
Original Image: P04496.jpg
GT: wrench
wrench Detection preview by Box_v11_medium_train_SIXray_OPIXray No objects detected Detection preview by DN_Medium_300_yolov8m_20t7_new wrench Detection preview by Segmentatation_v8_medium_train_250 wrench Detection preview by Segmentation_V11_large_300_train_300 wrench Detection preview by Segmentation_v8_large_300_train_300
Original Image: P04497.jpg
GT: wrench
wrench Detection preview by Box_v11_medium_train_SIXray_OPIXray No objects detected Detection preview by DN_Medium_300_yolov8m_20t7_new wrench Detection preview by Segmentatation_v8_medium_train_250 wrench Detection preview by Segmentation_V11_large_300_train_300 wrench Detection preview by Segmentation_v8_large_300_train_300
Original Image: P04498.jpg
GT: wrench
wrench Detection preview by Box_v11_medium_train_SIXray_OPIXray No objects detected Detection preview by DN_Medium_300_yolov8m_20t7_new wrench Detection preview by Segmentatation_v8_medium_train_250 wrench Detection preview by Segmentation_V11_large_300_train_300 wrench Detection preview by Segmentation_v8_large_300_train_300
Original Image: P04499.jpg
GT: wrench
wrench Detection preview by Box_v11_medium_train_SIXray_OPIXray No objects detected Detection preview by DN_Medium_300_yolov8m_20t7_new wrench Detection preview by Segmentatation_v8_medium_train_250 wrench Detection preview by Segmentation_V11_large_300_train_300 wrench Detection preview by Segmentation_v8_large_300_train_300
Original Image: P04500.jpg
GT: wrench
wrench Detection preview by Box_v11_medium_train_SIXray_OPIXray No objects detected Detection preview by DN_Medium_300_yolov8m_20t7_new wrench Detection preview by Segmentatation_v8_medium_train_250 wrench Detection preview by Segmentation_V11_large_300_train_300 wrench Detection preview by Segmentation_v8_large_300_train_300
Original Image: P04501.jpg
GT: wrench
wrench Detection preview by Box_v11_medium_train_SIXray_OPIXray No objects detected Detection preview by DN_Medium_300_yolov8m_20t7_new wrench Detection preview by Segmentatation_v8_medium_train_250 wrench Detection preview by Segmentation_V11_large_300_train_300 wrench Detection preview by Segmentation_v8_large_300_train_300
Original Image: P04502.jpg
GT: pliers
pliers Detection preview by Box_v11_medium_train_SIXray_OPIXray No objects detected Detection preview by DN_Medium_300_yolov8m_20t7_new No objects detected Detection preview by Segmentatation_v8_medium_train_250 No objects detected Detection preview by Segmentation_V11_large_300_train_300 No objects detected Detection preview by Segmentation_v8_large_300_train_300
Original Image: P04503.jpg
GT: knife, scissors
knife, scissor Detection preview by Box_v11_medium_train_SIXray_OPIXray No objects detected Detection preview by DN_Medium_300_yolov8m_20t7_new knife, scissor Detection preview by Segmentatation_v8_medium_train_250 scissor Detection preview by Segmentation_V11_large_300_train_300 scissor Detection preview by Segmentation_v8_large_300_train_300
Original Image: P04504.jpg
GT: wrench
wrench Detection preview by Box_v11_medium_train_SIXray_OPIXray No objects detected Detection preview by DN_Medium_300_yolov8m_20t7_new wrench Detection preview by Segmentatation_v8_medium_train_250 wrench Detection preview by Segmentation_V11_large_300_train_300 wrench Detection preview by Segmentation_v8_large_300_train_300
Original Image: P04505.jpg
GT: wrench
wrench Detection preview by Box_v11_medium_train_SIXray_OPIXray No objects detected Detection preview by DN_Medium_300_yolov8m_20t7_new wrench Detection preview by Segmentatation_v8_medium_train_250 wrench Detection preview by Segmentation_V11_large_300_train_300 wrench Detection preview by Segmentation_v8_large_300_train_300
Original Image: P04506.jpg
GT: wrench
wrench Detection preview by Box_v11_medium_train_SIXray_OPIXray No objects detected Detection preview by DN_Medium_300_yolov8m_20t7_new wrench Detection preview by Segmentatation_v8_medium_train_250 wrench Detection preview by Segmentation_V11_large_300_train_300 wrench Detection preview by Segmentation_v8_large_300_train_300
Original Image: P04507.jpg
GT: pliers, wrench
pliers, wrench Detection preview by Box_v11_medium_train_SIXray_OPIXray pliers Detection preview by DN_Medium_300_yolov8m_20t7_new wrench Detection preview by Segmentatation_v8_medium_train_250 wrench Detection preview by Segmentation_V11_large_300_train_300 wrench Detection preview by Segmentation_v8_large_300_train_300
Original Image: P04508.jpg
GT: pliers
pliers Detection preview by Box_v11_medium_train_SIXray_OPIXray No objects detected Detection preview by DN_Medium_300_yolov8m_20t7_new No objects detected Detection preview by Segmentatation_v8_medium_train_250 No objects detected Detection preview by Segmentation_V11_large_300_train_300 No objects detected Detection preview by Segmentation_v8_large_300_train_300
Original Image: P04509.jpg
GT: scissors
scissor Detection preview by Box_v11_medium_train_SIXray_OPIXray scissor Detection preview by DN_Medium_300_yolov8m_20t7_new scissor Detection preview by Segmentatation_v8_medium_train_250 scissor Detection preview by Segmentation_V11_large_300_train_300 scissor Detection preview by Segmentation_v8_large_300_train_300
Original Image: P04510.jpg
GT: scissors
scissor Detection preview by Box_v11_medium_train_SIXray_OPIXray scissor Detection preview by DN_Medium_300_yolov8m_20t7_new scissor Detection preview by Segmentatation_v8_medium_train_250 scissor Detection preview by Segmentation_V11_large_300_train_300 scissor Detection preview by Segmentation_v8_large_300_train_300
Original Image: P04511.jpg
GT: pliers
pliers Detection preview by Box_v11_medium_train_SIXray_OPIXray No objects detected Detection preview by DN_Medium_300_yolov8m_20t7_new No objects detected Detection preview by Segmentatation_v8_medium_train_250 No objects detected Detection preview by Segmentation_V11_large_300_train_300 No objects detected Detection preview by Segmentation_v8_large_300_train_300
Original Image: P04512.jpg
GT: pliers
pliers Detection preview by Box_v11_medium_train_SIXray_OPIXray No objects detected Detection preview by DN_Medium_300_yolov8m_20t7_new No objects detected Detection preview by Segmentatation_v8_medium_train_250 No objects detected Detection preview by Segmentation_V11_large_300_train_300 No objects detected Detection preview by Segmentation_v8_large_300_train_300
Original Image: P04513.jpg
GT: pliers
pliers Detection preview by Box_v11_medium_train_SIXray_OPIXray No objects detected Detection preview by DN_Medium_300_yolov8m_20t7_new No objects detected Detection preview by Segmentatation_v8_medium_train_250 No objects detected Detection preview by Segmentation_V11_large_300_train_300 No objects detected Detection preview by Segmentation_v8_large_300_train_300
Original Image: P04514.jpg
GT: pliers
pliers Detection preview by Box_v11_medium_train_SIXray_OPIXray No objects detected Detection preview by DN_Medium_300_yolov8m_20t7_new No objects detected Detection preview by Segmentatation_v8_medium_train_250 No objects detected Detection preview by Segmentation_V11_large_300_train_300 No objects detected Detection preview by Segmentation_v8_large_300_train_300
Original Image: P04515.jpg
GT: wrench
wrench Detection preview by Box_v11_medium_train_SIXray_OPIXray No objects detected Detection preview by DN_Medium_300_yolov8m_20t7_new wrench Detection preview by Segmentatation_v8_medium_train_250 wrench Detection preview by Segmentation_V11_large_300_train_300 wrench Detection preview by Segmentation_v8_large_300_train_300
Original Image: P04516.jpg
GT: wrench
wrench Detection preview by Box_v11_medium_train_SIXray_OPIXray No objects detected Detection preview by DN_Medium_300_yolov8m_20t7_new wrench Detection preview by Segmentatation_v8_medium_train_250 wrench Detection preview by Segmentation_V11_large_300_train_300 wrench Detection preview by Segmentation_v8_large_300_train_300
Original Image: P04517.jpg
GT: wrench
wrench Detection preview by Box_v11_medium_train_SIXray_OPIXray No objects detected Detection preview by DN_Medium_300_yolov8m_20t7_new wrench Detection preview by Segmentatation_v8_medium_train_250 wrench Detection preview by Segmentation_V11_large_300_train_300 wrench Detection preview by Segmentation_v8_large_300_train_300
Original Image: P04518.jpg
GT: pliers
pliers Detection preview by Box_v11_medium_train_SIXray_OPIXray pliers Detection preview by DN_Medium_300_yolov8m_20t7_new No objects detected Detection preview by Segmentatation_v8_medium_train_250 No objects detected Detection preview by Segmentation_V11_large_300_train_300 No objects detected Detection preview by Segmentation_v8_large_300_train_300
Original Image: P04519.jpg
GT: pliers
pliers Detection preview by Box_v11_medium_train_SIXray_OPIXray No objects detected Detection preview by DN_Medium_300_yolov8m_20t7_new No objects detected Detection preview by Segmentatation_v8_medium_train_250 No objects detected Detection preview by Segmentation_V11_large_300_train_300 No objects detected Detection preview by Segmentation_v8_large_300_train_300
Original Image: P04520.jpg
GT: scissors
scissor Detection preview by Box_v11_medium_train_SIXray_OPIXray No objects detected Detection preview by DN_Medium_300_yolov8m_20t7_new scissor Detection preview by Segmentatation_v8_medium_train_250 scissor Detection preview by Segmentation_V11_large_300_train_300 scissor Detection preview by Segmentation_v8_large_300_train_300
Original Image: P04521.jpg
GT: pliers, wrench
pliers, wrench Detection preview by Box_v11_medium_train_SIXray_OPIXray pliers Detection preview by DN_Medium_300_yolov8m_20t7_new wrench Detection preview by Segmentatation_v8_medium_train_250 wrench Detection preview by Segmentation_V11_large_300_train_300 wrench Detection preview by Segmentation_v8_large_300_train_300
Original Image: P04522.jpg
GT: pliers, wrench
pliers, wrench Detection preview by Box_v11_medium_train_SIXray_OPIXray pliers Detection preview by DN_Medium_300_yolov8m_20t7_new wrench Detection preview by Segmentatation_v8_medium_train_250 wrench Detection preview by Segmentation_V11_large_300_train_300 wrench Detection preview by Segmentation_v8_large_300_train_300
Original Image: P04523.jpg
GT: pliers, wrench
pliers, wrench Detection preview by Box_v11_medium_train_SIXray_OPIXray pliers Detection preview by DN_Medium_300_yolov8m_20t7_new wrench Detection preview by Segmentatation_v8_medium_train_250 wrench Detection preview by Segmentation_V11_large_300_train_300 wrench Detection preview by Segmentation_v8_large_300_train_300
Original Image: P04524.jpg
GT: pliers, wrench
pliers, wrench Detection preview by Box_v11_medium_train_SIXray_OPIXray pliers Detection preview by DN_Medium_300_yolov8m_20t7_new wrench Detection preview by Segmentatation_v8_medium_train_250 wrench Detection preview by Segmentation_V11_large_300_train_300 wrench Detection preview by Segmentation_v8_large_300_train_300
Original Image: P04525.jpg
GT: pliers, wrench
pliers, wrench Detection preview by Box_v11_medium_train_SIXray_OPIXray pliers Detection preview by DN_Medium_300_yolov8m_20t7_new wrench Detection preview by Segmentatation_v8_medium_train_250 wrench Detection preview by Segmentation_V11_large_300_train_300 wrench Detection preview by Segmentation_v8_large_300_train_300
Original Image: P04526.jpg
GT: pliers
pliers Detection preview by Box_v11_medium_train_SIXray_OPIXray No objects detected Detection preview by DN_Medium_300_yolov8m_20t7_new No objects detected Detection preview by Segmentatation_v8_medium_train_250 No objects detected Detection preview by Segmentation_V11_large_300_train_300 No objects detected Detection preview by Segmentation_v8_large_300_train_300
Original Image: P04527.jpg
GT: scissors
scissor Detection preview by Box_v11_medium_train_SIXray_OPIXray No objects detected Detection preview by DN_Medium_300_yolov8m_20t7_new scissor Detection preview by Segmentatation_v8_medium_train_250 scissor Detection preview by Segmentation_V11_large_300_train_300 scissor Detection preview by Segmentation_v8_large_300_train_300
Original Image: P04528.jpg
GT: scissors
scissor Detection preview by Box_v11_medium_train_SIXray_OPIXray No objects detected Detection preview by DN_Medium_300_yolov8m_20t7_new scissor Detection preview by Segmentatation_v8_medium_train_250 scissor Detection preview by Segmentation_V11_large_300_train_300 scissor Detection preview by Segmentation_v8_large_300_train_300
Original Image: P04529.jpg
GT: scissors
scissor Detection preview by Box_v11_medium_train_SIXray_OPIXray scissor Detection preview by DN_Medium_300_yolov8m_20t7_new scissor Detection preview by Segmentatation_v8_medium_train_250 scissor Detection preview by Segmentation_V11_large_300_train_300 scissor Detection preview by Segmentation_v8_large_300_train_300
Original Image: P04530.jpg
GT: scissors
scissor Detection preview by Box_v11_medium_train_SIXray_OPIXray scissor Detection preview by DN_Medium_300_yolov8m_20t7_new scissor Detection preview by Segmentatation_v8_medium_train_250 scissor Detection preview by Segmentation_V11_large_300_train_300 scissor Detection preview by Segmentation_v8_large_300_train_300
Original Image: P04531.jpg
GT: scissors
scissor Detection preview by Box_v11_medium_train_SIXray_OPIXray scissor Detection preview by DN_Medium_300_yolov8m_20t7_new scissor Detection preview by Segmentatation_v8_medium_train_250 scissor Detection preview by Segmentation_V11_large_300_train_300 scissor Detection preview by Segmentation_v8_large_300_train_300
Original Image: P04532.jpg
GT: scissors
scissor Detection preview by Box_v11_medium_train_SIXray_OPIXray scissor Detection preview by DN_Medium_300_yolov8m_20t7_new scissor Detection preview by Segmentatation_v8_medium_train_250 scissor Detection preview by Segmentation_V11_large_300_train_300 scissor Detection preview by Segmentation_v8_large_300_train_300
Original Image: P04533.jpg
GT: scissors
scissor Detection preview by Box_v11_medium_train_SIXray_OPIXray No objects detected Detection preview by DN_Medium_300_yolov8m_20t7_new scissor Detection preview by Segmentatation_v8_medium_train_250 scissor Detection preview by Segmentation_V11_large_300_train_300 scissor Detection preview by Segmentation_v8_large_300_train_300
Original Image: P04534.jpg
GT: pliers, wrench
pliers, wrench Detection preview by Box_v11_medium_train_SIXray_OPIXray No objects detected Detection preview by DN_Medium_300_yolov8m_20t7_new wrench Detection preview by Segmentatation_v8_medium_train_250 wrench Detection preview by Segmentation_V11_large_300_train_300 wrench Detection preview by Segmentation_v8_large_300_train_300
Original Image: P04535.jpg
GT: pliers
pliers Detection preview by Box_v11_medium_train_SIXray_OPIXray No objects detected Detection preview by DN_Medium_300_yolov8m_20t7_new No objects detected Detection preview by Segmentatation_v8_medium_train_250 No objects detected Detection preview by Segmentation_V11_large_300_train_300 No objects detected Detection preview by Segmentation_v8_large_300_train_300
Original Image: P04536.jpg
GT: pliers
pliers Detection preview by Box_v11_medium_train_SIXray_OPIXray No objects detected Detection preview by DN_Medium_300_yolov8m_20t7_new No objects detected Detection preview by Segmentatation_v8_medium_train_250 No objects detected Detection preview by Segmentation_V11_large_300_train_300 No objects detected Detection preview by Segmentation_v8_large_300_train_300
Original Image: P04537.jpg
GT: scissors
scissor Detection preview by Box_v11_medium_train_SIXray_OPIXray scissor Detection preview by DN_Medium_300_yolov8m_20t7_new scissor Detection preview by Segmentatation_v8_medium_train_250 scissor Detection preview by Segmentation_V11_large_300_train_300 scissor Detection preview by Segmentation_v8_large_300_train_300
Original Image: P04538.jpg
GT: pliers
pliers Detection preview by Box_v11_medium_train_SIXray_OPIXray No objects detected Detection preview by DN_Medium_300_yolov8m_20t7_new No objects detected Detection preview by Segmentatation_v8_medium_train_250 No objects detected Detection preview by Segmentation_V11_large_300_train_300 No objects detected Detection preview by Segmentation_v8_large_300_train_300
Original Image: P04539.jpg
GT: pliers
pliers Detection preview by Box_v11_medium_train_SIXray_OPIXray No objects detected Detection preview by DN_Medium_300_yolov8m_20t7_new No objects detected Detection preview by Segmentatation_v8_medium_train_250 No objects detected Detection preview by Segmentation_V11_large_300_train_300 No objects detected Detection preview by Segmentation_v8_large_300_train_300
Original Image: P04540.jpg
GT: pliers
pliers Detection preview by Box_v11_medium_train_SIXray_OPIXray No objects detected Detection preview by DN_Medium_300_yolov8m_20t7_new No objects detected Detection preview by Segmentatation_v8_medium_train_250 No objects detected Detection preview by Segmentation_V11_large_300_train_300 No objects detected Detection preview by Segmentation_v8_large_300_train_300
Original Image: P04541.jpg
GT: pliers
pliers Detection preview by Box_v11_medium_train_SIXray_OPIXray No objects detected Detection preview by DN_Medium_300_yolov8m_20t7_new No objects detected Detection preview by Segmentatation_v8_medium_train_250 No objects detected Detection preview by Segmentation_V11_large_300_train_300 No objects detected Detection preview by Segmentation_v8_large_300_train_300
Original Image: P04542.jpg
GT: pliers
pliers Detection preview by Box_v11_medium_train_SIXray_OPIXray No objects detected Detection preview by DN_Medium_300_yolov8m_20t7_new No objects detected Detection preview by Segmentatation_v8_medium_train_250 No objects detected Detection preview by Segmentation_V11_large_300_train_300 No objects detected Detection preview by Segmentation_v8_large_300_train_300
Original Image: P04543.jpg
GT: pliers
pliers Detection preview by Box_v11_medium_train_SIXray_OPIXray No objects detected Detection preview by DN_Medium_300_yolov8m_20t7_new No objects detected Detection preview by Segmentatation_v8_medium_train_250 No objects detected Detection preview by Segmentation_V11_large_300_train_300 No objects detected Detection preview by Segmentation_v8_large_300_train_300
Original Image: P04544.jpg
GT: pliers
pliers Detection preview by Box_v11_medium_train_SIXray_OPIXray No objects detected Detection preview by DN_Medium_300_yolov8m_20t7_new No objects detected Detection preview by Segmentatation_v8_medium_train_250 No objects detected Detection preview by Segmentation_V11_large_300_train_300 No objects detected Detection preview by Segmentation_v8_large_300_train_300
Original Image: P04545.jpg
GT: scissors
scissor Detection preview by Box_v11_medium_train_SIXray_OPIXray No objects detected Detection preview by DN_Medium_300_yolov8m_20t7_new scissor Detection preview by Segmentatation_v8_medium_train_250 scissor Detection preview by Segmentation_V11_large_300_train_300 scissor Detection preview by Segmentation_v8_large_300_train_300
Original Image: P04546.jpg
GT: pliers
pliers Detection preview by Box_v11_medium_train_SIXray_OPIXray No objects detected Detection preview by DN_Medium_300_yolov8m_20t7_new No objects detected Detection preview by Segmentatation_v8_medium_train_250 No objects detected Detection preview by Segmentation_V11_large_300_train_300 No objects detected Detection preview by Segmentation_v8_large_300_train_300
Original Image: P04547.jpg
GT: pliers
pliers Detection preview by Box_v11_medium_train_SIXray_OPIXray No objects detected Detection preview by DN_Medium_300_yolov8m_20t7_new No objects detected Detection preview by Segmentatation_v8_medium_train_250 No objects detected Detection preview by Segmentation_V11_large_300_train_300 wrench Detection preview by Segmentation_v8_large_300_train_300
Original Image: P04548.jpg
GT: pliers
pliers Detection preview by Box_v11_medium_train_SIXray_OPIXray No objects detected Detection preview by DN_Medium_300_yolov8m_20t7_new No objects detected Detection preview by Segmentatation_v8_medium_train_250 No objects detected Detection preview by Segmentation_V11_large_300_train_300 No objects detected Detection preview by Segmentation_v8_large_300_train_300
Original Image: P04549.jpg
GT: wrench
wrench Detection preview by Box_v11_medium_train_SIXray_OPIXray No objects detected Detection preview by DN_Medium_300_yolov8m_20t7_new wrench Detection preview by Segmentatation_v8_medium_train_250 wrench Detection preview by Segmentation_V11_large_300_train_300 wrench Detection preview by Segmentation_v8_large_300_train_300
Original Image: P04550.jpg
GT: pliers
pliers Detection preview by Box_v11_medium_train_SIXray_OPIXray No objects detected Detection preview by DN_Medium_300_yolov8m_20t7_new No objects detected Detection preview by Segmentatation_v8_medium_train_250 No objects detected Detection preview by Segmentation_V11_large_300_train_300 No objects detected Detection preview by Segmentation_v8_large_300_train_300
Original Image: P04551.jpg
GT: pliers
pliers Detection preview by Box_v11_medium_train_SIXray_OPIXray No objects detected Detection preview by DN_Medium_300_yolov8m_20t7_new No objects detected Detection preview by Segmentatation_v8_medium_train_250 No objects detected Detection preview by Segmentation_V11_large_300_train_300 No objects detected Detection preview by Segmentation_v8_large_300_train_300
Original Image: P04552.jpg
GT: pliers
pliers Detection preview by Box_v11_medium_train_SIXray_OPIXray No objects detected Detection preview by DN_Medium_300_yolov8m_20t7_new No objects detected Detection preview by Segmentatation_v8_medium_train_250 No objects detected Detection preview by Segmentation_V11_large_300_train_300 No objects detected Detection preview by Segmentation_v8_large_300_train_300
Original Image: P04553.jpg
GT: pliers
pliers Detection preview by Box_v11_medium_train_SIXray_OPIXray No objects detected Detection preview by DN_Medium_300_yolov8m_20t7_new No objects detected Detection preview by Segmentatation_v8_medium_train_250 No objects detected Detection preview by Segmentation_V11_large_300_train_300 No objects detected Detection preview by Segmentation_v8_large_300_train_300
Original Image: P04554.jpg
GT: knife
knife Detection preview by Box_v11_medium_train_SIXray_OPIXray No objects detected Detection preview by DN_Medium_300_yolov8m_20t7_new No objects detected Detection preview by Segmentatation_v8_medium_train_250 knife, scissor Detection preview by Segmentation_V11_large_300_train_300 No objects detected Detection preview by Segmentation_v8_large_300_train_300
Original Image: P04555.jpg
GT: pliers, wrench
pliers, wrench Detection preview by Box_v11_medium_train_SIXray_OPIXray No objects detected Detection preview by DN_Medium_300_yolov8m_20t7_new scissor, wrench Detection preview by Segmentatation_v8_medium_train_250 wrench Detection preview by Segmentation_V11_large_300_train_300 wrench Detection preview by Segmentation_v8_large_300_train_300
Original Image: P04556.jpg
GT: scissors
scissor Detection preview by Box_v11_medium_train_SIXray_OPIXray No objects detected Detection preview by DN_Medium_300_yolov8m_20t7_new scissor Detection preview by Segmentatation_v8_medium_train_250 scissor Detection preview by Segmentation_V11_large_300_train_300 scissor Detection preview by Segmentation_v8_large_300_train_300
Original Image: P04557.jpg
GT: pliers
pliers Detection preview by Box_v11_medium_train_SIXray_OPIXray No objects detected Detection preview by DN_Medium_300_yolov8m_20t7_new No objects detected Detection preview by Segmentatation_v8_medium_train_250 No objects detected Detection preview by Segmentation_V11_large_300_train_300 No objects detected Detection preview by Segmentation_v8_large_300_train_300
Original Image: P04558.jpg
GT: pliers
pliers Detection preview by Box_v11_medium_train_SIXray_OPIXray No objects detected Detection preview by DN_Medium_300_yolov8m_20t7_new No objects detected Detection preview by Segmentatation_v8_medium_train_250 No objects detected Detection preview by Segmentation_V11_large_300_train_300 No objects detected Detection preview by Segmentation_v8_large_300_train_300
Original Image: P04559.jpg
GT: pliers
pliers Detection preview by Box_v11_medium_train_SIXray_OPIXray No objects detected Detection preview by DN_Medium_300_yolov8m_20t7_new No objects detected Detection preview by Segmentatation_v8_medium_train_250 No objects detected Detection preview by Segmentation_V11_large_300_train_300 No objects detected Detection preview by Segmentation_v8_large_300_train_300
Original Image: P04560.jpg
GT: pliers
pliers Detection preview by Box_v11_medium_train_SIXray_OPIXray No objects detected Detection preview by DN_Medium_300_yolov8m_20t7_new No objects detected Detection preview by Segmentatation_v8_medium_train_250 No objects detected Detection preview by Segmentation_V11_large_300_train_300 No objects detected Detection preview by Segmentation_v8_large_300_train_300
Original Image: P04561.jpg
GT: pliers
pliers Detection preview by Box_v11_medium_train_SIXray_OPIXray pliers Detection preview by DN_Medium_300_yolov8m_20t7_new No objects detected Detection preview by Segmentatation_v8_medium_train_250 No objects detected Detection preview by Segmentation_V11_large_300_train_300 No objects detected Detection preview by Segmentation_v8_large_300_train_300
Original Image: P04562.jpg
GT: pliers
pliers Detection preview by Box_v11_medium_train_SIXray_OPIXray No objects detected Detection preview by DN_Medium_300_yolov8m_20t7_new No objects detected Detection preview by Segmentatation_v8_medium_train_250 No objects detected Detection preview by Segmentation_V11_large_300_train_300 No objects detected Detection preview by Segmentation_v8_large_300_train_300
Original Image: P04563.jpg
GT: pliers
pliers Detection preview by Box_v11_medium_train_SIXray_OPIXray pliers Detection preview by DN_Medium_300_yolov8m_20t7_new No objects detected Detection preview by Segmentatation_v8_medium_train_250 No objects detected Detection preview by Segmentation_V11_large_300_train_300 No objects detected Detection preview by Segmentation_v8_large_300_train_300
Original Image: P04564.jpg
GT: pliers, wrench
pliers, wrench Detection preview by Box_v11_medium_train_SIXray_OPIXray No objects detected Detection preview by DN_Medium_300_yolov8m_20t7_new wrench Detection preview by Segmentatation_v8_medium_train_250 wrench Detection preview by Segmentation_V11_large_300_train_300 wrench Detection preview by Segmentation_v8_large_300_train_300
Original Image: P04565.jpg
GT: pliers, wrench
pliers, wrench Detection preview by Box_v11_medium_train_SIXray_OPIXray pliers Detection preview by DN_Medium_300_yolov8m_20t7_new wrench Detection preview by Segmentatation_v8_medium_train_250 wrench Detection preview by Segmentation_V11_large_300_train_300 wrench Detection preview by Segmentation_v8_large_300_train_300
Original Image: P04566.jpg
GT: pliers
pliers Detection preview by Box_v11_medium_train_SIXray_OPIXray No objects detected Detection preview by DN_Medium_300_yolov8m_20t7_new No objects detected Detection preview by Segmentatation_v8_medium_train_250 No objects detected Detection preview by Segmentation_V11_large_300_train_300 No objects detected Detection preview by Segmentation_v8_large_300_train_300
Original Image: P04567.jpg
GT: pliers
pliers Detection preview by Box_v11_medium_train_SIXray_OPIXray No objects detected Detection preview by DN_Medium_300_yolov8m_20t7_new No objects detected Detection preview by Segmentatation_v8_medium_train_250 No objects detected Detection preview by Segmentation_V11_large_300_train_300 No objects detected Detection preview by Segmentation_v8_large_300_train_300
Original Image: P04568.jpg
GT: pliers
pliers Detection preview by Box_v11_medium_train_SIXray_OPIXray No objects detected Detection preview by DN_Medium_300_yolov8m_20t7_new wrench Detection preview by Segmentatation_v8_medium_train_250 wrench Detection preview by Segmentation_V11_large_300_train_300 wrench Detection preview by Segmentation_v8_large_300_train_300
Original Image: P04569.jpg
GT: pliers
pliers Detection preview by Box_v11_medium_train_SIXray_OPIXray No objects detected Detection preview by DN_Medium_300_yolov8m_20t7_new wrench Detection preview by Segmentatation_v8_medium_train_250 wrench Detection preview by Segmentation_V11_large_300_train_300 wrench Detection preview by Segmentation_v8_large_300_train_300
Original Image: P04570.jpg
GT: pliers, wrench
pliers, wrench Detection preview by Box_v11_medium_train_SIXray_OPIXray No objects detected Detection preview by DN_Medium_300_yolov8m_20t7_new wrench Detection preview by Segmentatation_v8_medium_train_250 wrench Detection preview by Segmentation_V11_large_300_train_300 wrench Detection preview by Segmentation_v8_large_300_train_300
Original Image: P04571.jpg
GT: pliers, wrench
pliers, wrench Detection preview by Box_v11_medium_train_SIXray_OPIXray No objects detected Detection preview by DN_Medium_300_yolov8m_20t7_new wrench Detection preview by Segmentatation_v8_medium_train_250 wrench Detection preview by Segmentation_V11_large_300_train_300 wrench Detection preview by Segmentation_v8_large_300_train_300
Original Image: P04572.jpg
GT: scissors
scissor Detection preview by Box_v11_medium_train_SIXray_OPIXray No objects detected Detection preview by DN_Medium_300_yolov8m_20t7_new scissor Detection preview by Segmentatation_v8_medium_train_250 scissor Detection preview by Segmentation_V11_large_300_train_300 scissor Detection preview by Segmentation_v8_large_300_train_300
Original Image: P04573.jpg
GT: scissors
scissor Detection preview by Box_v11_medium_train_SIXray_OPIXray No objects detected Detection preview by DN_Medium_300_yolov8m_20t7_new scissor Detection preview by Segmentatation_v8_medium_train_250 scissor Detection preview by Segmentation_V11_large_300_train_300 scissor Detection preview by Segmentation_v8_large_300_train_300
Original Image: P04574.jpg
GT: scissors
scissor Detection preview by Box_v11_medium_train_SIXray_OPIXray No objects detected Detection preview by DN_Medium_300_yolov8m_20t7_new scissor Detection preview by Segmentatation_v8_medium_train_250 scissor Detection preview by Segmentation_V11_large_300_train_300 scissor Detection preview by Segmentation_v8_large_300_train_300
Original Image: P04575.jpg
GT: pliers
pliers Detection preview by Box_v11_medium_train_SIXray_OPIXray No objects detected Detection preview by DN_Medium_300_yolov8m_20t7_new No objects detected Detection preview by Segmentatation_v8_medium_train_250 No objects detected Detection preview by Segmentation_V11_large_300_train_300 No objects detected Detection preview by Segmentation_v8_large_300_train_300
Original Image: P04576.jpg
GT: pliers
pliers Detection preview by Box_v11_medium_train_SIXray_OPIXray No objects detected Detection preview by DN_Medium_300_yolov8m_20t7_new No objects detected Detection preview by Segmentatation_v8_medium_train_250 No objects detected Detection preview by Segmentation_V11_large_300_train_300 No objects detected Detection preview by Segmentation_v8_large_300_train_300
Original Image: P04577.jpg
GT: wrench
wrench Detection preview by Box_v11_medium_train_SIXray_OPIXray No objects detected Detection preview by DN_Medium_300_yolov8m_20t7_new wrench Detection preview by Segmentatation_v8_medium_train_250 wrench Detection preview by Segmentation_V11_large_300_train_300 wrench Detection preview by Segmentation_v8_large_300_train_300
Original Image: P04578.jpg
GT: wrench
wrench Detection preview by Box_v11_medium_train_SIXray_OPIXray No objects detected Detection preview by DN_Medium_300_yolov8m_20t7_new wrench Detection preview by Segmentatation_v8_medium_train_250 wrench Detection preview by Segmentation_V11_large_300_train_300 wrench Detection preview by Segmentation_v8_large_300_train_300
Original Image: P04579.jpg
GT: wrench
wrench Detection preview by Box_v11_medium_train_SIXray_OPIXray No objects detected Detection preview by DN_Medium_300_yolov8m_20t7_new wrench Detection preview by Segmentatation_v8_medium_train_250 wrench Detection preview by Segmentation_V11_large_300_train_300 wrench Detection preview by Segmentation_v8_large_300_train_300
Original Image: P04580.jpg
GT: pliers, wrench
pliers, wrench Detection preview by Box_v11_medium_train_SIXray_OPIXray scissor Detection preview by DN_Medium_300_yolov8m_20t7_new wrench Detection preview by Segmentatation_v8_medium_train_250 wrench Detection preview by Segmentation_V11_large_300_train_300 wrench Detection preview by Segmentation_v8_large_300_train_300
Original Image: P04581.jpg
GT: pliers, wrench
pliers, wrench Detection preview by Box_v11_medium_train_SIXray_OPIXray No objects detected Detection preview by DN_Medium_300_yolov8m_20t7_new wrench Detection preview by Segmentatation_v8_medium_train_250 wrench Detection preview by Segmentation_V11_large_300_train_300 wrench Detection preview by Segmentation_v8_large_300_train_300
Original Image: P04582.jpg
GT: wrench
wrench Detection preview by Box_v11_medium_train_SIXray_OPIXray No objects detected Detection preview by DN_Medium_300_yolov8m_20t7_new wrench Detection preview by Segmentatation_v8_medium_train_250 wrench Detection preview by Segmentation_V11_large_300_train_300 wrench Detection preview by Segmentation_v8_large_300_train_300
Original Image: P04583.jpg
GT: wrench
wrench Detection preview by Box_v11_medium_train_SIXray_OPIXray No objects detected Detection preview by DN_Medium_300_yolov8m_20t7_new wrench Detection preview by Segmentatation_v8_medium_train_250 wrench Detection preview by Segmentation_V11_large_300_train_300 wrench Detection preview by Segmentation_v8_large_300_train_300
Original Image: P04584.jpg
GT: pliers, wrench
pliers, wrench Detection preview by Box_v11_medium_train_SIXray_OPIXray No objects detected Detection preview by DN_Medium_300_yolov8m_20t7_new wrench Detection preview by Segmentatation_v8_medium_train_250 wrench Detection preview by Segmentation_V11_large_300_train_300 wrench Detection preview by Segmentation_v8_large_300_train_300
Original Image: P04585.jpg
GT: pliers
pliers Detection preview by Box_v11_medium_train_SIXray_OPIXray No objects detected Detection preview by DN_Medium_300_yolov8m_20t7_new No objects detected Detection preview by Segmentatation_v8_medium_train_250 No objects detected Detection preview by Segmentation_V11_large_300_train_300 No objects detected Detection preview by Segmentation_v8_large_300_train_300
Original Image: P04586.jpg
GT: pliers
pliers Detection preview by Box_v11_medium_train_SIXray_OPIXray No objects detected Detection preview by DN_Medium_300_yolov8m_20t7_new No objects detected Detection preview by Segmentatation_v8_medium_train_250 No objects detected Detection preview by Segmentation_V11_large_300_train_300 No objects detected Detection preview by Segmentation_v8_large_300_train_300
Original Image: P04587.jpg
GT: pliers
pliers Detection preview by Box_v11_medium_train_SIXray_OPIXray No objects detected Detection preview by DN_Medium_300_yolov8m_20t7_new No objects detected Detection preview by Segmentatation_v8_medium_train_250 wrench Detection preview by Segmentation_V11_large_300_train_300 No objects detected Detection preview by Segmentation_v8_large_300_train_300
Original Image: P04588.jpg
GT: wrench
wrench Detection preview by Box_v11_medium_train_SIXray_OPIXray wrench Detection preview by DN_Medium_300_yolov8m_20t7_new wrench Detection preview by Segmentatation_v8_medium_train_250 wrench Detection preview by Segmentation_V11_large_300_train_300 scissor, wrench Detection preview by Segmentation_v8_large_300_train_300
Original Image: P04589.jpg
GT: wrench
wrench Detection preview by Box_v11_medium_train_SIXray_OPIXray No objects detected Detection preview by DN_Medium_300_yolov8m_20t7_new wrench Detection preview by Segmentatation_v8_medium_train_250 wrench Detection preview by Segmentation_V11_large_300_train_300 wrench Detection preview by Segmentation_v8_large_300_train_300
Original Image: P04590.jpg
GT: scissors
scissor Detection preview by Box_v11_medium_train_SIXray_OPIXray No objects detected Detection preview by DN_Medium_300_yolov8m_20t7_new scissor Detection preview by Segmentatation_v8_medium_train_250 scissor Detection preview by Segmentation_V11_large_300_train_300 scissor Detection preview by Segmentation_v8_large_300_train_300
Original Image: P04591.jpg
GT: pliers
pliers Detection preview by Box_v11_medium_train_SIXray_OPIXray No objects detected Detection preview by DN_Medium_300_yolov8m_20t7_new No objects detected Detection preview by Segmentatation_v8_medium_train_250 No objects detected Detection preview by Segmentation_V11_large_300_train_300 No objects detected Detection preview by Segmentation_v8_large_300_train_300
Original Image: P04592.jpg
GT: pliers
pliers Detection preview by Box_v11_medium_train_SIXray_OPIXray No objects detected Detection preview by DN_Medium_300_yolov8m_20t7_new No objects detected Detection preview by Segmentatation_v8_medium_train_250 No objects detected Detection preview by Segmentation_V11_large_300_train_300 No objects detected Detection preview by Segmentation_v8_large_300_train_300
Original Image: P04593.jpg
GT: pliers
pliers Detection preview by Box_v11_medium_train_SIXray_OPIXray No objects detected Detection preview by DN_Medium_300_yolov8m_20t7_new No objects detected Detection preview by Segmentatation_v8_medium_train_250 No objects detected Detection preview by Segmentation_V11_large_300_train_300 No objects detected Detection preview by Segmentation_v8_large_300_train_300
Original Image: P04594.jpg
GT: wrench
wrench Detection preview by Box_v11_medium_train_SIXray_OPIXray No objects detected Detection preview by DN_Medium_300_yolov8m_20t7_new wrench Detection preview by Segmentatation_v8_medium_train_250 wrench Detection preview by Segmentation_V11_large_300_train_300 wrench Detection preview by Segmentation_v8_large_300_train_300
Original Image: P04595.jpg
GT: scissors
scissor Detection preview by Box_v11_medium_train_SIXray_OPIXray No objects detected Detection preview by DN_Medium_300_yolov8m_20t7_new scissor Detection preview by Segmentatation_v8_medium_train_250 scissor Detection preview by Segmentation_V11_large_300_train_300 scissor Detection preview by Segmentation_v8_large_300_train_300
Original Image: P04596.jpg
GT: scissors
scissor Detection preview by Box_v11_medium_train_SIXray_OPIXray No objects detected Detection preview by DN_Medium_300_yolov8m_20t7_new scissor Detection preview by Segmentatation_v8_medium_train_250 scissor Detection preview by Segmentation_V11_large_300_train_300 scissor Detection preview by Segmentation_v8_large_300_train_300
Original Image: P04597.jpg
GT: wrench
wrench Detection preview by Box_v11_medium_train_SIXray_OPIXray No objects detected Detection preview by DN_Medium_300_yolov8m_20t7_new wrench Detection preview by Segmentatation_v8_medium_train_250 wrench Detection preview by Segmentation_V11_large_300_train_300 wrench Detection preview by Segmentation_v8_large_300_train_300
Original Image: P04598.jpg
GT: wrench
wrench Detection preview by Box_v11_medium_train_SIXray_OPIXray No objects detected Detection preview by DN_Medium_300_yolov8m_20t7_new scissor, wrench Detection preview by Segmentatation_v8_medium_train_250 wrench Detection preview by Segmentation_V11_large_300_train_300 wrench Detection preview by Segmentation_v8_large_300_train_300
Original Image: P04599.jpg
GT: wrench
wrench Detection preview by Box_v11_medium_train_SIXray_OPIXray No objects detected Detection preview by DN_Medium_300_yolov8m_20t7_new wrench Detection preview by Segmentatation_v8_medium_train_250 wrench Detection preview by Segmentation_V11_large_300_train_300 wrench Detection preview by Segmentation_v8_large_300_train_300
Original Image: P04600.jpg
GT: wrench
wrench Detection preview by Box_v11_medium_train_SIXray_OPIXray No objects detected Detection preview by DN_Medium_300_yolov8m_20t7_new wrench Detection preview by Segmentatation_v8_medium_train_250 wrench Detection preview by Segmentation_V11_large_300_train_300 wrench Detection preview by Segmentation_v8_large_300_train_300
Original Image: P04601.jpg
GT: wrench
wrench Detection preview by Box_v11_medium_train_SIXray_OPIXray No objects detected Detection preview by DN_Medium_300_yolov8m_20t7_new wrench Detection preview by Segmentatation_v8_medium_train_250 wrench Detection preview by Segmentation_V11_large_300_train_300 wrench Detection preview by Segmentation_v8_large_300_train_300
Original Image: P04602.jpg
GT: pliers, wrench
pliers, wrench Detection preview by Box_v11_medium_train_SIXray_OPIXray No objects detected Detection preview by DN_Medium_300_yolov8m_20t7_new wrench Detection preview by Segmentatation_v8_medium_train_250 wrench Detection preview by Segmentation_V11_large_300_train_300 wrench Detection preview by Segmentation_v8_large_300_train_300
Original Image: P04603.jpg
GT: pliers, wrench
pliers, wrench Detection preview by Box_v11_medium_train_SIXray_OPIXray No objects detected Detection preview by DN_Medium_300_yolov8m_20t7_new wrench Detection preview by Segmentatation_v8_medium_train_250 wrench Detection preview by Segmentation_V11_large_300_train_300 wrench Detection preview by Segmentation_v8_large_300_train_300
Original Image: P04604.jpg
GT: pliers, wrench
pliers, wrench Detection preview by Box_v11_medium_train_SIXray_OPIXray No objects detected Detection preview by DN_Medium_300_yolov8m_20t7_new wrench Detection preview by Segmentatation_v8_medium_train_250 wrench Detection preview by Segmentation_V11_large_300_train_300 wrench Detection preview by Segmentation_v8_large_300_train_300
Original Image: P04605.jpg
GT: pliers
pliers Detection preview by Box_v11_medium_train_SIXray_OPIXray pliers Detection preview by DN_Medium_300_yolov8m_20t7_new No objects detected Detection preview by Segmentatation_v8_medium_train_250 No objects detected Detection preview by Segmentation_V11_large_300_train_300 No objects detected Detection preview by Segmentation_v8_large_300_train_300
Original Image: P04606.jpg
GT: wrench
wrench Detection preview by Box_v11_medium_train_SIXray_OPIXray pliers Detection preview by DN_Medium_300_yolov8m_20t7_new wrench Detection preview by Segmentatation_v8_medium_train_250 wrench Detection preview by Segmentation_V11_large_300_train_300 wrench Detection preview by Segmentation_v8_large_300_train_300
Original Image: P04607.jpg
GT: scissors
scissor Detection preview by Box_v11_medium_train_SIXray_OPIXray scissor Detection preview by DN_Medium_300_yolov8m_20t7_new scissor Detection preview by Segmentatation_v8_medium_train_250 scissor Detection preview by Segmentation_V11_large_300_train_300 scissor Detection preview by Segmentation_v8_large_300_train_300
Original Image: P04608.jpg
GT: scissors
scissor Detection preview by Box_v11_medium_train_SIXray_OPIXray scissor Detection preview by DN_Medium_300_yolov8m_20t7_new scissor Detection preview by Segmentatation_v8_medium_train_250 scissor Detection preview by Segmentation_V11_large_300_train_300 scissor Detection preview by Segmentation_v8_large_300_train_300
Original Image: P04609.jpg
GT: scissors
scissor Detection preview by Box_v11_medium_train_SIXray_OPIXray scissor Detection preview by DN_Medium_300_yolov8m_20t7_new scissor Detection preview by Segmentatation_v8_medium_train_250 scissor Detection preview by Segmentation_V11_large_300_train_300 scissor Detection preview by Segmentation_v8_large_300_train_300
Original Image: P04610.jpg
GT: wrench
wrench Detection preview by Box_v11_medium_train_SIXray_OPIXray No objects detected Detection preview by DN_Medium_300_yolov8m_20t7_new wrench Detection preview by Segmentatation_v8_medium_train_250 wrench Detection preview by Segmentation_V11_large_300_train_300 wrench Detection preview by Segmentation_v8_large_300_train_300
Original Image: P04611.jpg
GT: pliers, wrench
pliers, wrench Detection preview by Box_v11_medium_train_SIXray_OPIXray pliers Detection preview by DN_Medium_300_yolov8m_20t7_new wrench Detection preview by Segmentatation_v8_medium_train_250 wrench Detection preview by Segmentation_V11_large_300_train_300 wrench Detection preview by Segmentation_v8_large_300_train_300
Original Image: P04612.jpg
GT: pliers, wrench
pliers, wrench Detection preview by Box_v11_medium_train_SIXray_OPIXray pliers Detection preview by DN_Medium_300_yolov8m_20t7_new wrench Detection preview by Segmentatation_v8_medium_train_250 wrench Detection preview by Segmentation_V11_large_300_train_300 wrench Detection preview by Segmentation_v8_large_300_train_300
Original Image: P04613.jpg
GT: wrench
wrench Detection preview by Box_v11_medium_train_SIXray_OPIXray No objects detected Detection preview by DN_Medium_300_yolov8m_20t7_new No objects detected Detection preview by Segmentatation_v8_medium_train_250 No objects detected Detection preview by Segmentation_V11_large_300_train_300 No objects detected Detection preview by Segmentation_v8_large_300_train_300
Original Image: P04614.jpg
GT: pliers, wrench
pliers, wrench Detection preview by Box_v11_medium_train_SIXray_OPIXray No objects detected Detection preview by DN_Medium_300_yolov8m_20t7_new wrench Detection preview by Segmentatation_v8_medium_train_250 wrench Detection preview by Segmentation_V11_large_300_train_300 wrench Detection preview by Segmentation_v8_large_300_train_300
Original Image: P04615.jpg
GT: pliers, wrench
pliers, wrench Detection preview by Box_v11_medium_train_SIXray_OPIXray No objects detected Detection preview by DN_Medium_300_yolov8m_20t7_new wrench Detection preview by Segmentatation_v8_medium_train_250 wrench Detection preview by Segmentation_V11_large_300_train_300 wrench Detection preview by Segmentation_v8_large_300_train_300
Original Image: P04616.jpg
GT: pliers, wrench
pliers, wrench Detection preview by Box_v11_medium_train_SIXray_OPIXray No objects detected Detection preview by DN_Medium_300_yolov8m_20t7_new wrench Detection preview by Segmentatation_v8_medium_train_250 wrench Detection preview by Segmentation_V11_large_300_train_300 wrench Detection preview by Segmentation_v8_large_300_train_300
Original Image: P04617.jpg
GT: wrench
wrench Detection preview by Box_v11_medium_train_SIXray_OPIXray wrench Detection preview by DN_Medium_300_yolov8m_20t7_new wrench Detection preview by Segmentatation_v8_medium_train_250 wrench Detection preview by Segmentation_V11_large_300_train_300 wrench Detection preview by Segmentation_v8_large_300_train_300
Original Image: P04618.jpg
GT: wrench
wrench Detection preview by Box_v11_medium_train_SIXray_OPIXray No objects detected Detection preview by DN_Medium_300_yolov8m_20t7_new wrench Detection preview by Segmentatation_v8_medium_train_250 wrench Detection preview by Segmentation_V11_large_300_train_300 wrench Detection preview by Segmentation_v8_large_300_train_300
Original Image: P04619.jpg
GT: wrench
wrench Detection preview by Box_v11_medium_train_SIXray_OPIXray No objects detected Detection preview by DN_Medium_300_yolov8m_20t7_new wrench Detection preview by Segmentatation_v8_medium_train_250 wrench Detection preview by Segmentation_V11_large_300_train_300 wrench Detection preview by Segmentation_v8_large_300_train_300
Original Image: P04620.jpg
GT: wrench
wrench Detection preview by Box_v11_medium_train_SIXray_OPIXray wrench Detection preview by DN_Medium_300_yolov8m_20t7_new wrench Detection preview by Segmentatation_v8_medium_train_250 wrench Detection preview by Segmentation_V11_large_300_train_300 wrench Detection preview by Segmentation_v8_large_300_train_300
Original Image: P04621.jpg
GT: wrench
wrench Detection preview by Box_v11_medium_train_SIXray_OPIXray No objects detected Detection preview by DN_Medium_300_yolov8m_20t7_new wrench Detection preview by Segmentatation_v8_medium_train_250 wrench Detection preview by Segmentation_V11_large_300_train_300 wrench Detection preview by Segmentation_v8_large_300_train_300
Original Image: P04622.jpg
GT: pliers
pliers Detection preview by Box_v11_medium_train_SIXray_OPIXray No objects detected Detection preview by DN_Medium_300_yolov8m_20t7_new No objects detected Detection preview by Segmentatation_v8_medium_train_250 No objects detected Detection preview by Segmentation_V11_large_300_train_300 No objects detected Detection preview by Segmentation_v8_large_300_train_300
Original Image: P04623.jpg
GT: wrench
wrench Detection preview by Box_v11_medium_train_SIXray_OPIXray No objects detected Detection preview by DN_Medium_300_yolov8m_20t7_new wrench Detection preview by Segmentatation_v8_medium_train_250 wrench Detection preview by Segmentation_V11_large_300_train_300 wrench Detection preview by Segmentation_v8_large_300_train_300
Original Image: P04624.jpg
GT: wrench
wrench Detection preview by Box_v11_medium_train_SIXray_OPIXray No objects detected Detection preview by DN_Medium_300_yolov8m_20t7_new wrench Detection preview by Segmentatation_v8_medium_train_250 wrench Detection preview by Segmentation_V11_large_300_train_300 wrench Detection preview by Segmentation_v8_large_300_train_300
Original Image: P04625.jpg
GT: pliers
pliers Detection preview by Box_v11_medium_train_SIXray_OPIXray No objects detected Detection preview by DN_Medium_300_yolov8m_20t7_new No objects detected Detection preview by Segmentatation_v8_medium_train_250 No objects detected Detection preview by Segmentation_V11_large_300_train_300 No objects detected Detection preview by Segmentation_v8_large_300_train_300
Original Image: P04626.jpg
GT: pliers
pliers Detection preview by Box_v11_medium_train_SIXray_OPIXray No objects detected Detection preview by DN_Medium_300_yolov8m_20t7_new No objects detected Detection preview by Segmentatation_v8_medium_train_250 No objects detected Detection preview by Segmentation_V11_large_300_train_300 No objects detected Detection preview by Segmentation_v8_large_300_train_300
Original Image: P04627.jpg
GT: pliers
pliers Detection preview by Box_v11_medium_train_SIXray_OPIXray No objects detected Detection preview by DN_Medium_300_yolov8m_20t7_new No objects detected Detection preview by Segmentatation_v8_medium_train_250 No objects detected Detection preview by Segmentation_V11_large_300_train_300 No objects detected Detection preview by Segmentation_v8_large_300_train_300
Original Image: P04628.jpg
GT: wrench
wrench Detection preview by Box_v11_medium_train_SIXray_OPIXray pliers Detection preview by DN_Medium_300_yolov8m_20t7_new wrench Detection preview by Segmentatation_v8_medium_train_250 wrench Detection preview by Segmentation_V11_large_300_train_300 wrench Detection preview by Segmentation_v8_large_300_train_300
Original Image: P04629.jpg
GT: wrench
wrench Detection preview by Box_v11_medium_train_SIXray_OPIXray pliers Detection preview by DN_Medium_300_yolov8m_20t7_new wrench Detection preview by Segmentatation_v8_medium_train_250 wrench Detection preview by Segmentation_V11_large_300_train_300 wrench Detection preview by Segmentation_v8_large_300_train_300
Original Image: P04630.jpg
GT: scissors
scissor Detection preview by Box_v11_medium_train_SIXray_OPIXray scissor Detection preview by DN_Medium_300_yolov8m_20t7_new scissor Detection preview by Segmentatation_v8_medium_train_250 scissor Detection preview by Segmentation_V11_large_300_train_300 scissor Detection preview by Segmentation_v8_large_300_train_300
Original Image: P04631.jpg
GT: scissors
scissor Detection preview by Box_v11_medium_train_SIXray_OPIXray scissor Detection preview by DN_Medium_300_yolov8m_20t7_new scissor Detection preview by Segmentatation_v8_medium_train_250 scissor Detection preview by Segmentation_V11_large_300_train_300 scissor Detection preview by Segmentation_v8_large_300_train_300
Original Image: P04632.jpg
GT: pliers
pliers Detection preview by Box_v11_medium_train_SIXray_OPIXray No objects detected Detection preview by DN_Medium_300_yolov8m_20t7_new No objects detected Detection preview by Segmentatation_v8_medium_train_250 No objects detected Detection preview by Segmentation_V11_large_300_train_300 No objects detected Detection preview by Segmentation_v8_large_300_train_300
Original Image: P04633.jpg
GT: pliers
pliers Detection preview by Box_v11_medium_train_SIXray_OPIXray No objects detected Detection preview by DN_Medium_300_yolov8m_20t7_new No objects detected Detection preview by Segmentatation_v8_medium_train_250 No objects detected Detection preview by Segmentation_V11_large_300_train_300 No objects detected Detection preview by Segmentation_v8_large_300_train_300
Original Image: P04634.jpg
GT: wrench
wrench Detection preview by Box_v11_medium_train_SIXray_OPIXray pliers Detection preview by DN_Medium_300_yolov8m_20t7_new wrench Detection preview by Segmentatation_v8_medium_train_250 wrench Detection preview by Segmentation_V11_large_300_train_300 wrench Detection preview by Segmentation_v8_large_300_train_300
Original Image: P04635.jpg
GT: wrench
wrench Detection preview by Box_v11_medium_train_SIXray_OPIXray wrench Detection preview by DN_Medium_300_yolov8m_20t7_new wrench Detection preview by Segmentatation_v8_medium_train_250 wrench Detection preview by Segmentation_V11_large_300_train_300 wrench Detection preview by Segmentation_v8_large_300_train_300
Original Image: P04636.jpg
GT: scissors
scissor Detection preview by Box_v11_medium_train_SIXray_OPIXray No objects detected Detection preview by DN_Medium_300_yolov8m_20t7_new scissor Detection preview by Segmentatation_v8_medium_train_250 scissor Detection preview by Segmentation_V11_large_300_train_300 scissor Detection preview by Segmentation_v8_large_300_train_300
Original Image: P04637.jpg
GT: wrench
wrench Detection preview by Box_v11_medium_train_SIXray_OPIXray No objects detected Detection preview by DN_Medium_300_yolov8m_20t7_new wrench Detection preview by Segmentatation_v8_medium_train_250 wrench Detection preview by Segmentation_V11_large_300_train_300 wrench Detection preview by Segmentation_v8_large_300_train_300
Original Image: P04638.jpg
GT: scissors
scissor Detection preview by Box_v11_medium_train_SIXray_OPIXray scissor Detection preview by DN_Medium_300_yolov8m_20t7_new scissor Detection preview by Segmentatation_v8_medium_train_250 scissor Detection preview by Segmentation_V11_large_300_train_300 scissor Detection preview by Segmentation_v8_large_300_train_300
Original Image: P04639.jpg
GT: wrench
wrench Detection preview by Box_v11_medium_train_SIXray_OPIXray No objects detected Detection preview by DN_Medium_300_yolov8m_20t7_new wrench Detection preview by Segmentatation_v8_medium_train_250 wrench Detection preview by Segmentation_V11_large_300_train_300 wrench Detection preview by Segmentation_v8_large_300_train_300
Original Image: P04640.jpg
GT: wrench
wrench Detection preview by Box_v11_medium_train_SIXray_OPIXray No objects detected Detection preview by DN_Medium_300_yolov8m_20t7_new wrench Detection preview by Segmentatation_v8_medium_train_250 wrench Detection preview by Segmentation_V11_large_300_train_300 wrench Detection preview by Segmentation_v8_large_300_train_300
Original Image: P04641.jpg
GT: wrench
wrench Detection preview by Box_v11_medium_train_SIXray_OPIXray No objects detected Detection preview by DN_Medium_300_yolov8m_20t7_new wrench Detection preview by Segmentatation_v8_medium_train_250 wrench Detection preview by Segmentation_V11_large_300_train_300 wrench Detection preview by Segmentation_v8_large_300_train_300
Original Image: P04642.jpg
GT: pliers, wrench
pliers, wrench Detection preview by Box_v11_medium_train_SIXray_OPIXray No objects detected Detection preview by DN_Medium_300_yolov8m_20t7_new scissor, wrench Detection preview by Segmentatation_v8_medium_train_250 scissor, wrench Detection preview by Segmentation_V11_large_300_train_300 wrench Detection preview by Segmentation_v8_large_300_train_300
Original Image: P04643.jpg
GT: pliers
pliers Detection preview by Box_v11_medium_train_SIXray_OPIXray No objects detected Detection preview by DN_Medium_300_yolov8m_20t7_new No objects detected Detection preview by Segmentatation_v8_medium_train_250 No objects detected Detection preview by Segmentation_V11_large_300_train_300 No objects detected Detection preview by Segmentation_v8_large_300_train_300
Original Image: P04644.jpg
GT: pliers
pliers Detection preview by Box_v11_medium_train_SIXray_OPIXray No objects detected Detection preview by DN_Medium_300_yolov8m_20t7_new No objects detected Detection preview by Segmentatation_v8_medium_train_250 No objects detected Detection preview by Segmentation_V11_large_300_train_300 No objects detected Detection preview by Segmentation_v8_large_300_train_300
Original Image: P04645.jpg
GT: pliers
pliers Detection preview by Box_v11_medium_train_SIXray_OPIXray No objects detected Detection preview by DN_Medium_300_yolov8m_20t7_new No objects detected Detection preview by Segmentatation_v8_medium_train_250 No objects detected Detection preview by Segmentation_V11_large_300_train_300 No objects detected Detection preview by Segmentation_v8_large_300_train_300
Original Image: P04646.jpg
GT: pliers
pliers Detection preview by Box_v11_medium_train_SIXray_OPIXray No objects detected Detection preview by DN_Medium_300_yolov8m_20t7_new No objects detected Detection preview by Segmentatation_v8_medium_train_250 No objects detected Detection preview by Segmentation_V11_large_300_train_300 No objects detected Detection preview by Segmentation_v8_large_300_train_300
Original Image: P04647.jpg
GT: pliers
pliers Detection preview by Box_v11_medium_train_SIXray_OPIXray No objects detected Detection preview by DN_Medium_300_yolov8m_20t7_new wrench Detection preview by Segmentatation_v8_medium_train_250 wrench Detection preview by Segmentation_V11_large_300_train_300 wrench Detection preview by Segmentation_v8_large_300_train_300
Original Image: P04648.jpg
GT: pliers
pliers Detection preview by Box_v11_medium_train_SIXray_OPIXray No objects detected Detection preview by DN_Medium_300_yolov8m_20t7_new No objects detected Detection preview by Segmentatation_v8_medium_train_250 No objects detected Detection preview by Segmentation_V11_large_300_train_300 No objects detected Detection preview by Segmentation_v8_large_300_train_300
Original Image: P04649.jpg
GT: pliers, wrench
pliers, wrench Detection preview by Box_v11_medium_train_SIXray_OPIXray No objects detected Detection preview by DN_Medium_300_yolov8m_20t7_new wrench Detection preview by Segmentatation_v8_medium_train_250 wrench Detection preview by Segmentation_V11_large_300_train_300 wrench Detection preview by Segmentation_v8_large_300_train_300
Original Image: P04650.jpg
GT: pliers, wrench
pliers, wrench Detection preview by Box_v11_medium_train_SIXray_OPIXray No objects detected Detection preview by DN_Medium_300_yolov8m_20t7_new wrench Detection preview by Segmentatation_v8_medium_train_250 wrench Detection preview by Segmentation_V11_large_300_train_300 wrench Detection preview by Segmentation_v8_large_300_train_300
Original Image: P04651.jpg
GT: scissors
scissor Detection preview by Box_v11_medium_train_SIXray_OPIXray No objects detected Detection preview by DN_Medium_300_yolov8m_20t7_new scissor Detection preview by Segmentatation_v8_medium_train_250 scissor Detection preview by Segmentation_V11_large_300_train_300 scissor Detection preview by Segmentation_v8_large_300_train_300
Original Image: P04652.jpg
GT: pliers
pliers Detection preview by Box_v11_medium_train_SIXray_OPIXray No objects detected Detection preview by DN_Medium_300_yolov8m_20t7_new No objects detected Detection preview by Segmentatation_v8_medium_train_250 No objects detected Detection preview by Segmentation_V11_large_300_train_300 No objects detected Detection preview by Segmentation_v8_large_300_train_300
Original Image: P04653.jpg
GT: wrench
wrench Detection preview by Box_v11_medium_train_SIXray_OPIXray No objects detected Detection preview by DN_Medium_300_yolov8m_20t7_new wrench Detection preview by Segmentatation_v8_medium_train_250 wrench Detection preview by Segmentation_V11_large_300_train_300 wrench Detection preview by Segmentation_v8_large_300_train_300
Original Image: P04654.jpg
GT: pliers
pliers Detection preview by Box_v11_medium_train_SIXray_OPIXray No objects detected Detection preview by DN_Medium_300_yolov8m_20t7_new No objects detected Detection preview by Segmentatation_v8_medium_train_250 No objects detected Detection preview by Segmentation_V11_large_300_train_300 No objects detected Detection preview by Segmentation_v8_large_300_train_300
Original Image: P04655.jpg
GT: pliers
pliers Detection preview by Box_v11_medium_train_SIXray_OPIXray No objects detected Detection preview by DN_Medium_300_yolov8m_20t7_new No objects detected Detection preview by Segmentatation_v8_medium_train_250 No objects detected Detection preview by Segmentation_V11_large_300_train_300 No objects detected Detection preview by Segmentation_v8_large_300_train_300
Original Image: P04656.jpg
GT: pliers
pliers Detection preview by Box_v11_medium_train_SIXray_OPIXray No objects detected Detection preview by DN_Medium_300_yolov8m_20t7_new No objects detected Detection preview by Segmentatation_v8_medium_train_250 No objects detected Detection preview by Segmentation_V11_large_300_train_300 No objects detected Detection preview by Segmentation_v8_large_300_train_300
Original Image: P04657.jpg
GT: pliers
pliers Detection preview by Box_v11_medium_train_SIXray_OPIXray pliers Detection preview by DN_Medium_300_yolov8m_20t7_new No objects detected Detection preview by Segmentatation_v8_medium_train_250 No objects detected Detection preview by Segmentation_V11_large_300_train_300 No objects detected Detection preview by Segmentation_v8_large_300_train_300
Original Image: P04658.jpg
GT: wrench
wrench Detection preview by Box_v11_medium_train_SIXray_OPIXray No objects detected Detection preview by DN_Medium_300_yolov8m_20t7_new wrench Detection preview by Segmentatation_v8_medium_train_250 wrench Detection preview by Segmentation_V11_large_300_train_300 wrench Detection preview by Segmentation_v8_large_300_train_300
Original Image: P04659.jpg
GT: wrench
wrench Detection preview by Box_v11_medium_train_SIXray_OPIXray No objects detected Detection preview by DN_Medium_300_yolov8m_20t7_new wrench Detection preview by Segmentatation_v8_medium_train_250 wrench Detection preview by Segmentation_V11_large_300_train_300 wrench Detection preview by Segmentation_v8_large_300_train_300
Original Image: P04660.jpg
GT: wrench
wrench Detection preview by Box_v11_medium_train_SIXray_OPIXray No objects detected Detection preview by DN_Medium_300_yolov8m_20t7_new wrench Detection preview by Segmentatation_v8_medium_train_250 wrench Detection preview by Segmentation_V11_large_300_train_300 wrench Detection preview by Segmentation_v8_large_300_train_300
Original Image: P04661.jpg
GT: pliers
pliers Detection preview by Box_v11_medium_train_SIXray_OPIXray No objects detected Detection preview by DN_Medium_300_yolov8m_20t7_new No objects detected Detection preview by Segmentatation_v8_medium_train_250 No objects detected Detection preview by Segmentation_V11_large_300_train_300 No objects detected Detection preview by Segmentation_v8_large_300_train_300
Original Image: P04662.jpg
GT: pliers
pliers Detection preview by Box_v11_medium_train_SIXray_OPIXray No objects detected Detection preview by DN_Medium_300_yolov8m_20t7_new No objects detected Detection preview by Segmentatation_v8_medium_train_250 No objects detected Detection preview by Segmentation_V11_large_300_train_300 No objects detected Detection preview by Segmentation_v8_large_300_train_300
Original Image: P04663.jpg
GT: pliers
pliers Detection preview by Box_v11_medium_train_SIXray_OPIXray No objects detected Detection preview by DN_Medium_300_yolov8m_20t7_new No objects detected Detection preview by Segmentatation_v8_medium_train_250 No objects detected Detection preview by Segmentation_V11_large_300_train_300 No objects detected Detection preview by Segmentation_v8_large_300_train_300
Original Image: P04664.jpg
GT: pliers
pliers Detection preview by Box_v11_medium_train_SIXray_OPIXray No objects detected Detection preview by DN_Medium_300_yolov8m_20t7_new No objects detected Detection preview by Segmentatation_v8_medium_train_250 No objects detected Detection preview by Segmentation_V11_large_300_train_300 No objects detected Detection preview by Segmentation_v8_large_300_train_300
Original Image: P04665.jpg
GT: scissors
scissor Detection preview by Box_v11_medium_train_SIXray_OPIXray No objects detected Detection preview by DN_Medium_300_yolov8m_20t7_new scissor Detection preview by Segmentatation_v8_medium_train_250 scissor Detection preview by Segmentation_V11_large_300_train_300 scissor Detection preview by Segmentation_v8_large_300_train_300
Original Image: P04666.jpg
GT: pliers
pliers Detection preview by Box_v11_medium_train_SIXray_OPIXray No objects detected Detection preview by DN_Medium_300_yolov8m_20t7_new No objects detected Detection preview by Segmentatation_v8_medium_train_250 No objects detected Detection preview by Segmentation_V11_large_300_train_300 No objects detected Detection preview by Segmentation_v8_large_300_train_300
Original Image: P04667.jpg
GT: pliers
pliers Detection preview by Box_v11_medium_train_SIXray_OPIXray No objects detected Detection preview by DN_Medium_300_yolov8m_20t7_new No objects detected Detection preview by Segmentatation_v8_medium_train_250 No objects detected Detection preview by Segmentation_V11_large_300_train_300 No objects detected Detection preview by Segmentation_v8_large_300_train_300
Original Image: P04668.jpg
GT: pliers
pliers Detection preview by Box_v11_medium_train_SIXray_OPIXray No objects detected Detection preview by DN_Medium_300_yolov8m_20t7_new No objects detected Detection preview by Segmentatation_v8_medium_train_250 No objects detected Detection preview by Segmentation_V11_large_300_train_300 No objects detected Detection preview by Segmentation_v8_large_300_train_300
Original Image: P04669.jpg
GT: pliers
pliers Detection preview by Box_v11_medium_train_SIXray_OPIXray No objects detected Detection preview by DN_Medium_300_yolov8m_20t7_new No objects detected Detection preview by Segmentatation_v8_medium_train_250 No objects detected Detection preview by Segmentation_V11_large_300_train_300 No objects detected Detection preview by Segmentation_v8_large_300_train_300
Original Image: P04670.jpg
GT: pliers
pliers Detection preview by Box_v11_medium_train_SIXray_OPIXray No objects detected Detection preview by DN_Medium_300_yolov8m_20t7_new No objects detected Detection preview by Segmentatation_v8_medium_train_250 No objects detected Detection preview by Segmentation_V11_large_300_train_300 No objects detected Detection preview by Segmentation_v8_large_300_train_300
Original Image: P04671.jpg
GT: knife
knife Detection preview by Box_v11_medium_train_SIXray_OPIXray No objects detected Detection preview by DN_Medium_300_yolov8m_20t7_new knife Detection preview by Segmentatation_v8_medium_train_250 knife Detection preview by Segmentation_V11_large_300_train_300 knife Detection preview by Segmentation_v8_large_300_train_300
Original Image: P04672.jpg
GT: scissors
scissor Detection preview by Box_v11_medium_train_SIXray_OPIXray No objects detected Detection preview by DN_Medium_300_yolov8m_20t7_new scissor Detection preview by Segmentatation_v8_medium_train_250 scissor Detection preview by Segmentation_V11_large_300_train_300 scissor Detection preview by Segmentation_v8_large_300_train_300
Original Image: P04673.jpg
GT: knife
knife Detection preview by Box_v11_medium_train_SIXray_OPIXray No objects detected Detection preview by DN_Medium_300_yolov8m_20t7_new scissor Detection preview by Segmentatation_v8_medium_train_250 scissor Detection preview by Segmentation_V11_large_300_train_300 scissor Detection preview by Segmentation_v8_large_300_train_300
Original Image: P04674.jpg
GT: knife
knife Detection preview by Box_v11_medium_train_SIXray_OPIXray No objects detected Detection preview by DN_Medium_300_yolov8m_20t7_new scissor Detection preview by Segmentatation_v8_medium_train_250 scissor Detection preview by Segmentation_V11_large_300_train_300 scissor Detection preview by Segmentation_v8_large_300_train_300
Original Image: P04675.jpg
GT: knife
knife Detection preview by Box_v11_medium_train_SIXray_OPIXray No objects detected Detection preview by DN_Medium_300_yolov8m_20t7_new scissor Detection preview by Segmentatation_v8_medium_train_250 scissor Detection preview by Segmentation_V11_large_300_train_300 scissor Detection preview by Segmentation_v8_large_300_train_300
Original Image: P04676.jpg
GT: pliers
pliers Detection preview by Box_v11_medium_train_SIXray_OPIXray No objects detected Detection preview by DN_Medium_300_yolov8m_20t7_new No objects detected Detection preview by Segmentatation_v8_medium_train_250 No objects detected Detection preview by Segmentation_V11_large_300_train_300 No objects detected Detection preview by Segmentation_v8_large_300_train_300
Original Image: P04677.jpg
GT: pliers
pliers Detection preview by Box_v11_medium_train_SIXray_OPIXray No objects detected Detection preview by DN_Medium_300_yolov8m_20t7_new No objects detected Detection preview by Segmentatation_v8_medium_train_250 No objects detected Detection preview by Segmentation_V11_large_300_train_300 No objects detected Detection preview by Segmentation_v8_large_300_train_300
Original Image: P04678.jpg
GT: pliers
pliers Detection preview by Box_v11_medium_train_SIXray_OPIXray No objects detected Detection preview by DN_Medium_300_yolov8m_20t7_new No objects detected Detection preview by Segmentatation_v8_medium_train_250 No objects detected Detection preview by Segmentation_V11_large_300_train_300 No objects detected Detection preview by Segmentation_v8_large_300_train_300
Original Image: P04679.jpg
GT: pliers
pliers Detection preview by Box_v11_medium_train_SIXray_OPIXray No objects detected Detection preview by DN_Medium_300_yolov8m_20t7_new No objects detected Detection preview by Segmentatation_v8_medium_train_250 No objects detected Detection preview by Segmentation_V11_large_300_train_300 No objects detected Detection preview by Segmentation_v8_large_300_train_300
Original Image: P04680.jpg
GT: pliers
pliers Detection preview by Box_v11_medium_train_SIXray_OPIXray No objects detected Detection preview by DN_Medium_300_yolov8m_20t7_new No objects detected Detection preview by Segmentatation_v8_medium_train_250 No objects detected Detection preview by Segmentation_V11_large_300_train_300 No objects detected Detection preview by Segmentation_v8_large_300_train_300
Original Image: P04681.jpg
GT: pliers
pliers Detection preview by Box_v11_medium_train_SIXray_OPIXray No objects detected Detection preview by DN_Medium_300_yolov8m_20t7_new No objects detected Detection preview by Segmentatation_v8_medium_train_250 No objects detected Detection preview by Segmentation_V11_large_300_train_300 No objects detected Detection preview by Segmentation_v8_large_300_train_300
Original Image: P04682.jpg
GT: scissors
scissor Detection preview by Box_v11_medium_train_SIXray_OPIXray No objects detected Detection preview by DN_Medium_300_yolov8m_20t7_new scissor Detection preview by Segmentatation_v8_medium_train_250 scissor Detection preview by Segmentation_V11_large_300_train_300 scissor Detection preview by Segmentation_v8_large_300_train_300
Original Image: P04683.jpg
GT: scissors
scissor Detection preview by Box_v11_medium_train_SIXray_OPIXray No objects detected Detection preview by DN_Medium_300_yolov8m_20t7_new scissor Detection preview by Segmentatation_v8_medium_train_250 scissor Detection preview by Segmentation_V11_large_300_train_300 scissor Detection preview by Segmentation_v8_large_300_train_300
Original Image: P04684.jpg
GT: wrench
wrench Detection preview by Box_v11_medium_train_SIXray_OPIXray No objects detected Detection preview by DN_Medium_300_yolov8m_20t7_new wrench Detection preview by Segmentatation_v8_medium_train_250 wrench Detection preview by Segmentation_V11_large_300_train_300 wrench Detection preview by Segmentation_v8_large_300_train_300
Original Image: P04685.jpg
GT: pliers, wrench
pliers, wrench Detection preview by Box_v11_medium_train_SIXray_OPIXray No objects detected Detection preview by DN_Medium_300_yolov8m_20t7_new wrench Detection preview by Segmentatation_v8_medium_train_250 wrench Detection preview by Segmentation_V11_large_300_train_300 wrench Detection preview by Segmentation_v8_large_300_train_300
Original Image: P04686.jpg
GT: scissors
scissor Detection preview by Box_v11_medium_train_SIXray_OPIXray No objects detected Detection preview by DN_Medium_300_yolov8m_20t7_new scissor Detection preview by Segmentatation_v8_medium_train_250 scissor Detection preview by Segmentation_V11_large_300_train_300 scissor Detection preview by Segmentation_v8_large_300_train_300
Original Image: P04687.jpg
GT: scissors
scissor Detection preview by Box_v11_medium_train_SIXray_OPIXray No objects detected Detection preview by DN_Medium_300_yolov8m_20t7_new scissor Detection preview by Segmentatation_v8_medium_train_250 scissor Detection preview by Segmentation_V11_large_300_train_300 scissor Detection preview by Segmentation_v8_large_300_train_300
Original Image: P04688.jpg
GT: pliers
pliers Detection preview by Box_v11_medium_train_SIXray_OPIXray No objects detected Detection preview by DN_Medium_300_yolov8m_20t7_new No objects detected Detection preview by Segmentatation_v8_medium_train_250 No objects detected Detection preview by Segmentation_V11_large_300_train_300 wrench Detection preview by Segmentation_v8_large_300_train_300
Original Image: P04689.jpg
GT: pliers
pliers Detection preview by Box_v11_medium_train_SIXray_OPIXray No objects detected Detection preview by DN_Medium_300_yolov8m_20t7_new No objects detected Detection preview by Segmentatation_v8_medium_train_250 No objects detected Detection preview by Segmentation_V11_large_300_train_300 wrench Detection preview by Segmentation_v8_large_300_train_300
Original Image: P04690.jpg
GT: pliers
pliers Detection preview by Box_v11_medium_train_SIXray_OPIXray No objects detected Detection preview by DN_Medium_300_yolov8m_20t7_new No objects detected Detection preview by Segmentatation_v8_medium_train_250 No objects detected Detection preview by Segmentation_V11_large_300_train_300 wrench Detection preview by Segmentation_v8_large_300_train_300
Original Image: P04691.jpg
GT: pliers
pliers Detection preview by Box_v11_medium_train_SIXray_OPIXray No objects detected Detection preview by DN_Medium_300_yolov8m_20t7_new No objects detected Detection preview by Segmentatation_v8_medium_train_250 No objects detected Detection preview by Segmentation_V11_large_300_train_300 No objects detected Detection preview by Segmentation_v8_large_300_train_300
Original Image: P04692.jpg
GT: pliers
pliers Detection preview by Box_v11_medium_train_SIXray_OPIXray No objects detected Detection preview by DN_Medium_300_yolov8m_20t7_new No objects detected Detection preview by Segmentatation_v8_medium_train_250 No objects detected Detection preview by Segmentation_V11_large_300_train_300 No objects detected Detection preview by Segmentation_v8_large_300_train_300
Original Image: P04693.jpg
GT: wrench
wrench Detection preview by Box_v11_medium_train_SIXray_OPIXray No objects detected Detection preview by DN_Medium_300_yolov8m_20t7_new wrench Detection preview by Segmentatation_v8_medium_train_250 wrench Detection preview by Segmentation_V11_large_300_train_300 wrench Detection preview by Segmentation_v8_large_300_train_300
Original Image: P04694.jpg
GT: wrench
wrench Detection preview by Box_v11_medium_train_SIXray_OPIXray No objects detected Detection preview by DN_Medium_300_yolov8m_20t7_new wrench Detection preview by Segmentatation_v8_medium_train_250 wrench Detection preview by Segmentation_V11_large_300_train_300 wrench Detection preview by Segmentation_v8_large_300_train_300
Original Image: P04695.jpg
GT: wrench
wrench Detection preview by Box_v11_medium_train_SIXray_OPIXray No objects detected Detection preview by DN_Medium_300_yolov8m_20t7_new wrench Detection preview by Segmentatation_v8_medium_train_250 wrench Detection preview by Segmentation_V11_large_300_train_300 wrench Detection preview by Segmentation_v8_large_300_train_300
Original Image: P04696.jpg
GT: pliers
pliers Detection preview by Box_v11_medium_train_SIXray_OPIXray No objects detected Detection preview by DN_Medium_300_yolov8m_20t7_new No objects detected Detection preview by Segmentatation_v8_medium_train_250 No objects detected Detection preview by Segmentation_V11_large_300_train_300 No objects detected Detection preview by Segmentation_v8_large_300_train_300
Original Image: P04697.jpg
GT: pliers
pliers Detection preview by Box_v11_medium_train_SIXray_OPIXray No objects detected Detection preview by DN_Medium_300_yolov8m_20t7_new No objects detected Detection preview by Segmentatation_v8_medium_train_250 No objects detected Detection preview by Segmentation_V11_large_300_train_300 No objects detected Detection preview by Segmentation_v8_large_300_train_300
Original Image: P04698.jpg
GT: pliers
pliers Detection preview by Box_v11_medium_train_SIXray_OPIXray No objects detected Detection preview by DN_Medium_300_yolov8m_20t7_new No objects detected Detection preview by Segmentatation_v8_medium_train_250 No objects detected Detection preview by Segmentation_V11_large_300_train_300 No objects detected Detection preview by Segmentation_v8_large_300_train_300
Original Image: P04699.jpg
GT: pliers, wrench
pliers, wrench Detection preview by Box_v11_medium_train_SIXray_OPIXray No objects detected Detection preview by DN_Medium_300_yolov8m_20t7_new wrench Detection preview by Segmentatation_v8_medium_train_250 wrench Detection preview by Segmentation_V11_large_300_train_300 wrench Detection preview by Segmentation_v8_large_300_train_300
Original Image: P04700.jpg
GT: pliers
pliers Detection preview by Box_v11_medium_train_SIXray_OPIXray No objects detected Detection preview by DN_Medium_300_yolov8m_20t7_new No objects detected Detection preview by Segmentatation_v8_medium_train_250 No objects detected Detection preview by Segmentation_V11_large_300_train_300 No objects detected Detection preview by Segmentation_v8_large_300_train_300
Original Image: P04701.jpg
GT: pliers
pliers Detection preview by Box_v11_medium_train_SIXray_OPIXray No objects detected Detection preview by DN_Medium_300_yolov8m_20t7_new No objects detected Detection preview by Segmentatation_v8_medium_train_250 No objects detected Detection preview by Segmentation_V11_large_300_train_300 No objects detected Detection preview by Segmentation_v8_large_300_train_300
Original Image: P04702.jpg
GT: pliers
pliers Detection preview by Box_v11_medium_train_SIXray_OPIXray No objects detected Detection preview by DN_Medium_300_yolov8m_20t7_new No objects detected Detection preview by Segmentatation_v8_medium_train_250 No objects detected Detection preview by Segmentation_V11_large_300_train_300 No objects detected Detection preview by Segmentation_v8_large_300_train_300
Original Image: P04703.jpg
GT: pliers
pliers Detection preview by Box_v11_medium_train_SIXray_OPIXray No objects detected Detection preview by DN_Medium_300_yolov8m_20t7_new No objects detected Detection preview by Segmentatation_v8_medium_train_250 No objects detected Detection preview by Segmentation_V11_large_300_train_300 No objects detected Detection preview by Segmentation_v8_large_300_train_300
Original Image: P04704.jpg
GT: pliers
pliers Detection preview by Box_v11_medium_train_SIXray_OPIXray No objects detected Detection preview by DN_Medium_300_yolov8m_20t7_new No objects detected Detection preview by Segmentatation_v8_medium_train_250 No objects detected Detection preview by Segmentation_V11_large_300_train_300 No objects detected Detection preview by Segmentation_v8_large_300_train_300
Original Image: P04705.jpg
GT: pliers
pliers Detection preview by Box_v11_medium_train_SIXray_OPIXray No objects detected Detection preview by DN_Medium_300_yolov8m_20t7_new No objects detected Detection preview by Segmentatation_v8_medium_train_250 No objects detected Detection preview by Segmentation_V11_large_300_train_300 No objects detected Detection preview by Segmentation_v8_large_300_train_300
Original Image: P04706.jpg
GT: pliers
pliers Detection preview by Box_v11_medium_train_SIXray_OPIXray No objects detected Detection preview by DN_Medium_300_yolov8m_20t7_new No objects detected Detection preview by Segmentatation_v8_medium_train_250 No objects detected Detection preview by Segmentation_V11_large_300_train_300 No objects detected Detection preview by Segmentation_v8_large_300_train_300
Original Image: P04707.jpg
GT: pliers
pliers Detection preview by Box_v11_medium_train_SIXray_OPIXray No objects detected Detection preview by DN_Medium_300_yolov8m_20t7_new No objects detected Detection preview by Segmentatation_v8_medium_train_250 No objects detected Detection preview by Segmentation_V11_large_300_train_300 No objects detected Detection preview by Segmentation_v8_large_300_train_300
Original Image: P04708.jpg
GT: pliers, wrench
pliers, wrench Detection preview by Box_v11_medium_train_SIXray_OPIXray No objects detected Detection preview by DN_Medium_300_yolov8m_20t7_new wrench Detection preview by Segmentatation_v8_medium_train_250 wrench Detection preview by Segmentation_V11_large_300_train_300 wrench Detection preview by Segmentation_v8_large_300_train_300
Original Image: P04709.jpg
GT: knife
knife Detection preview by Box_v11_medium_train_SIXray_OPIXray No objects detected Detection preview by DN_Medium_300_yolov8m_20t7_new scissor Detection preview by Segmentatation_v8_medium_train_250 scissor Detection preview by Segmentation_V11_large_300_train_300 scissor Detection preview by Segmentation_v8_large_300_train_300
Original Image: P04710.jpg
GT: knife
knife Detection preview by Box_v11_medium_train_SIXray_OPIXray scissor Detection preview by DN_Medium_300_yolov8m_20t7_new scissor Detection preview by Segmentatation_v8_medium_train_250 scissor Detection preview by Segmentation_V11_large_300_train_300 scissor Detection preview by Segmentation_v8_large_300_train_300
Original Image: P04711.jpg
GT: pliers
pliers Detection preview by Box_v11_medium_train_SIXray_OPIXray No objects detected Detection preview by DN_Medium_300_yolov8m_20t7_new No objects detected Detection preview by Segmentatation_v8_medium_train_250 No objects detected Detection preview by Segmentation_V11_large_300_train_300 No objects detected Detection preview by Segmentation_v8_large_300_train_300
Original Image: P04712.jpg
GT: pliers
pliers Detection preview by Box_v11_medium_train_SIXray_OPIXray No objects detected Detection preview by DN_Medium_300_yolov8m_20t7_new No objects detected Detection preview by Segmentatation_v8_medium_train_250 No objects detected Detection preview by Segmentation_V11_large_300_train_300 No objects detected Detection preview by Segmentation_v8_large_300_train_300
Original Image: P04713.jpg
GT: pliers
pliers Detection preview by Box_v11_medium_train_SIXray_OPIXray No objects detected Detection preview by DN_Medium_300_yolov8m_20t7_new No objects detected Detection preview by Segmentatation_v8_medium_train_250 No objects detected Detection preview by Segmentation_V11_large_300_train_300 No objects detected Detection preview by Segmentation_v8_large_300_train_300
Original Image: P04714.jpg
GT: scissors
scissor Detection preview by Box_v11_medium_train_SIXray_OPIXray No objects detected Detection preview by DN_Medium_300_yolov8m_20t7_new scissor Detection preview by Segmentatation_v8_medium_train_250 scissor Detection preview by Segmentation_V11_large_300_train_300 scissor Detection preview by Segmentation_v8_large_300_train_300
Original Image: P04715.jpg
GT: scissors
scissor Detection preview by Box_v11_medium_train_SIXray_OPIXray No objects detected Detection preview by DN_Medium_300_yolov8m_20t7_new scissor Detection preview by Segmentatation_v8_medium_train_250 scissor Detection preview by Segmentation_V11_large_300_train_300 scissor Detection preview by Segmentation_v8_large_300_train_300
Original Image: P04716.jpg
GT: pliers
pliers Detection preview by Box_v11_medium_train_SIXray_OPIXray No objects detected Detection preview by DN_Medium_300_yolov8m_20t7_new No objects detected Detection preview by Segmentatation_v8_medium_train_250 No objects detected Detection preview by Segmentation_V11_large_300_train_300 No objects detected Detection preview by Segmentation_v8_large_300_train_300
Original Image: P04717.jpg
GT: pliers
pliers Detection preview by Box_v11_medium_train_SIXray_OPIXray pliers Detection preview by DN_Medium_300_yolov8m_20t7_new No objects detected Detection preview by Segmentatation_v8_medium_train_250 No objects detected Detection preview by Segmentation_V11_large_300_train_300 No objects detected Detection preview by Segmentation_v8_large_300_train_300
Original Image: P04718.jpg
GT: pliers
pliers Detection preview by Box_v11_medium_train_SIXray_OPIXray No objects detected Detection preview by DN_Medium_300_yolov8m_20t7_new No objects detected Detection preview by Segmentatation_v8_medium_train_250 No objects detected Detection preview by Segmentation_V11_large_300_train_300 No objects detected Detection preview by Segmentation_v8_large_300_train_300
Original Image: P04719.jpg
GT: scissors
scissor Detection preview by Box_v11_medium_train_SIXray_OPIXray No objects detected Detection preview by DN_Medium_300_yolov8m_20t7_new scissor Detection preview by Segmentatation_v8_medium_train_250 scissor Detection preview by Segmentation_V11_large_300_train_300 scissor Detection preview by Segmentation_v8_large_300_train_300
Original Image: P04720.jpg
GT: scissors
scissor Detection preview by Box_v11_medium_train_SIXray_OPIXray No objects detected Detection preview by DN_Medium_300_yolov8m_20t7_new scissor Detection preview by Segmentatation_v8_medium_train_250 scissor Detection preview by Segmentation_V11_large_300_train_300 scissor Detection preview by Segmentation_v8_large_300_train_300
Original Image: P04721.jpg
GT: pliers
pliers Detection preview by Box_v11_medium_train_SIXray_OPIXray No objects detected Detection preview by DN_Medium_300_yolov8m_20t7_new No objects detected Detection preview by Segmentatation_v8_medium_train_250 No objects detected Detection preview by Segmentation_V11_large_300_train_300 No objects detected Detection preview by Segmentation_v8_large_300_train_300
Original Image: P04722.jpg
GT: pliers
pliers Detection preview by Box_v11_medium_train_SIXray_OPIXray No objects detected Detection preview by DN_Medium_300_yolov8m_20t7_new No objects detected Detection preview by Segmentatation_v8_medium_train_250 No objects detected Detection preview by Segmentation_V11_large_300_train_300 No objects detected Detection preview by Segmentation_v8_large_300_train_300
Original Image: P04723.jpg
GT: pliers
pliers Detection preview by Box_v11_medium_train_SIXray_OPIXray No objects detected Detection preview by DN_Medium_300_yolov8m_20t7_new No objects detected Detection preview by Segmentatation_v8_medium_train_250 No objects detected Detection preview by Segmentation_V11_large_300_train_300 No objects detected Detection preview by Segmentation_v8_large_300_train_300
Original Image: P04724.jpg
GT: wrench
wrench Detection preview by Box_v11_medium_train_SIXray_OPIXray No objects detected Detection preview by DN_Medium_300_yolov8m_20t7_new wrench Detection preview by Segmentatation_v8_medium_train_250 wrench Detection preview by Segmentation_V11_large_300_train_300 wrench Detection preview by Segmentation_v8_large_300_train_300
Original Image: P04725.jpg
GT: wrench
wrench Detection preview by Box_v11_medium_train_SIXray_OPIXray No objects detected Detection preview by DN_Medium_300_yolov8m_20t7_new wrench Detection preview by Segmentatation_v8_medium_train_250 wrench Detection preview by Segmentation_V11_large_300_train_300 wrench Detection preview by Segmentation_v8_large_300_train_300
Original Image: P04726.jpg
GT: pliers, wrench
pliers, wrench Detection preview by Box_v11_medium_train_SIXray_OPIXray No objects detected Detection preview by DN_Medium_300_yolov8m_20t7_new wrench Detection preview by Segmentatation_v8_medium_train_250 wrench Detection preview by Segmentation_V11_large_300_train_300 wrench Detection preview by Segmentation_v8_large_300_train_300
Original Image: P04727.jpg
GT: pliers
pliers Detection preview by Box_v11_medium_train_SIXray_OPIXray No objects detected Detection preview by DN_Medium_300_yolov8m_20t7_new No objects detected Detection preview by Segmentatation_v8_medium_train_250 No objects detected Detection preview by Segmentation_V11_large_300_train_300 No objects detected Detection preview by Segmentation_v8_large_300_train_300
Original Image: P04728.jpg
GT: pliers
pliers Detection preview by Box_v11_medium_train_SIXray_OPIXray No objects detected Detection preview by DN_Medium_300_yolov8m_20t7_new No objects detected Detection preview by Segmentatation_v8_medium_train_250 No objects detected Detection preview by Segmentation_V11_large_300_train_300 No objects detected Detection preview by Segmentation_v8_large_300_train_300
Original Image: P04729.jpg
GT: pliers
pliers Detection preview by Box_v11_medium_train_SIXray_OPIXray No objects detected Detection preview by DN_Medium_300_yolov8m_20t7_new No objects detected Detection preview by Segmentatation_v8_medium_train_250 No objects detected Detection preview by Segmentation_V11_large_300_train_300 No objects detected Detection preview by Segmentation_v8_large_300_train_300
Original Image: P04730.jpg
GT: pliers
pliers Detection preview by Box_v11_medium_train_SIXray_OPIXray No objects detected Detection preview by DN_Medium_300_yolov8m_20t7_new No objects detected Detection preview by Segmentatation_v8_medium_train_250 No objects detected Detection preview by Segmentation_V11_large_300_train_300 No objects detected Detection preview by Segmentation_v8_large_300_train_300
Original Image: P04731.jpg
GT: pliers
pliers Detection preview by Box_v11_medium_train_SIXray_OPIXray No objects detected Detection preview by DN_Medium_300_yolov8m_20t7_new No objects detected Detection preview by Segmentatation_v8_medium_train_250 No objects detected Detection preview by Segmentation_V11_large_300_train_300 No objects detected Detection preview by Segmentation_v8_large_300_train_300
Original Image: P04732.jpg
GT: pliers
pliers Detection preview by Box_v11_medium_train_SIXray_OPIXray No objects detected Detection preview by DN_Medium_300_yolov8m_20t7_new No objects detected Detection preview by Segmentatation_v8_medium_train_250 No objects detected Detection preview by Segmentation_V11_large_300_train_300 No objects detected Detection preview by Segmentation_v8_large_300_train_300
Original Image: P04733.jpg
GT: pliers
pliers Detection preview by Box_v11_medium_train_SIXray_OPIXray No objects detected Detection preview by DN_Medium_300_yolov8m_20t7_new No objects detected Detection preview by Segmentatation_v8_medium_train_250 No objects detected Detection preview by Segmentation_V11_large_300_train_300 No objects detected Detection preview by Segmentation_v8_large_300_train_300
Original Image: P04734.jpg
GT: pliers
pliers Detection preview by Box_v11_medium_train_SIXray_OPIXray No objects detected Detection preview by DN_Medium_300_yolov8m_20t7_new No objects detected Detection preview by Segmentatation_v8_medium_train_250 No objects detected Detection preview by Segmentation_V11_large_300_train_300 No objects detected Detection preview by Segmentation_v8_large_300_train_300
Original Image: P04735.jpg
GT: pliers
pliers Detection preview by Box_v11_medium_train_SIXray_OPIXray No objects detected Detection preview by DN_Medium_300_yolov8m_20t7_new No objects detected Detection preview by Segmentatation_v8_medium_train_250 No objects detected Detection preview by Segmentation_V11_large_300_train_300 No objects detected Detection preview by Segmentation_v8_large_300_train_300
Original Image: P04736.jpg
GT: pliers
pliers Detection preview by Box_v11_medium_train_SIXray_OPIXray No objects detected Detection preview by DN_Medium_300_yolov8m_20t7_new No objects detected Detection preview by Segmentatation_v8_medium_train_250 No objects detected Detection preview by Segmentation_V11_large_300_train_300 No objects detected Detection preview by Segmentation_v8_large_300_train_300
Original Image: P04737.jpg
GT: knife
knife Detection preview by Box_v11_medium_train_SIXray_OPIXray No objects detected Detection preview by DN_Medium_300_yolov8m_20t7_new scissor Detection preview by Segmentatation_v8_medium_train_250 scissor Detection preview by Segmentation_V11_large_300_train_300 scissor Detection preview by Segmentation_v8_large_300_train_300
Original Image: P04738.jpg
GT: knife
knife Detection preview by Box_v11_medium_train_SIXray_OPIXray No objects detected Detection preview by DN_Medium_300_yolov8m_20t7_new scissor Detection preview by Segmentatation_v8_medium_train_250 scissor Detection preview by Segmentation_V11_large_300_train_300 scissor Detection preview by Segmentation_v8_large_300_train_300
Original Image: P04739.jpg
GT: pliers, wrench
pliers, wrench Detection preview by Box_v11_medium_train_SIXray_OPIXray No objects detected Detection preview by DN_Medium_300_yolov8m_20t7_new wrench Detection preview by Segmentatation_v8_medium_train_250 wrench Detection preview by Segmentation_V11_large_300_train_300 wrench Detection preview by Segmentation_v8_large_300_train_300
Original Image: P04740.jpg
GT: pliers, wrench
pliers, wrench Detection preview by Box_v11_medium_train_SIXray_OPIXray No objects detected Detection preview by DN_Medium_300_yolov8m_20t7_new wrench Detection preview by Segmentatation_v8_medium_train_250 wrench Detection preview by Segmentation_V11_large_300_train_300 wrench Detection preview by Segmentation_v8_large_300_train_300
Original Image: P04741.jpg
GT: pliers, wrench
pliers, wrench Detection preview by Box_v11_medium_train_SIXray_OPIXray No objects detected Detection preview by DN_Medium_300_yolov8m_20t7_new wrench Detection preview by Segmentatation_v8_medium_train_250 wrench Detection preview by Segmentation_V11_large_300_train_300 wrench Detection preview by Segmentation_v8_large_300_train_300
Original Image: P04742.jpg
GT: pliers
pliers Detection preview by Box_v11_medium_train_SIXray_OPIXray No objects detected Detection preview by DN_Medium_300_yolov8m_20t7_new No objects detected Detection preview by Segmentatation_v8_medium_train_250 No objects detected Detection preview by Segmentation_V11_large_300_train_300 No objects detected Detection preview by Segmentation_v8_large_300_train_300
Original Image: P04743.jpg
GT: pliers, wrench
pliers, wrench Detection preview by Box_v11_medium_train_SIXray_OPIXray No objects detected Detection preview by DN_Medium_300_yolov8m_20t7_new wrench Detection preview by Segmentatation_v8_medium_train_250 wrench Detection preview by Segmentation_V11_large_300_train_300 wrench Detection preview by Segmentation_v8_large_300_train_300
Original Image: P04744.jpg
GT: pliers, wrench
pliers, wrench Detection preview by Box_v11_medium_train_SIXray_OPIXray No objects detected Detection preview by DN_Medium_300_yolov8m_20t7_new wrench Detection preview by Segmentatation_v8_medium_train_250 wrench Detection preview by Segmentation_V11_large_300_train_300 wrench Detection preview by Segmentation_v8_large_300_train_300
Original Image: P04745.jpg
GT: pliers, wrench
pliers, wrench Detection preview by Box_v11_medium_train_SIXray_OPIXray No objects detected Detection preview by DN_Medium_300_yolov8m_20t7_new wrench Detection preview by Segmentatation_v8_medium_train_250 wrench Detection preview by Segmentation_V11_large_300_train_300 wrench Detection preview by Segmentation_v8_large_300_train_300
Original Image: P04746.jpg
GT: wrench
wrench Detection preview by Box_v11_medium_train_SIXray_OPIXray No objects detected Detection preview by DN_Medium_300_yolov8m_20t7_new wrench Detection preview by Segmentatation_v8_medium_train_250 wrench Detection preview by Segmentation_V11_large_300_train_300 wrench Detection preview by Segmentation_v8_large_300_train_300
Original Image: P04747.jpg
GT: wrench
wrench Detection preview by Box_v11_medium_train_SIXray_OPIXray No objects detected Detection preview by DN_Medium_300_yolov8m_20t7_new wrench Detection preview by Segmentatation_v8_medium_train_250 wrench Detection preview by Segmentation_V11_large_300_train_300 wrench Detection preview by Segmentation_v8_large_300_train_300
Original Image: P04748.jpg
GT: pliers
pliers Detection preview by Box_v11_medium_train_SIXray_OPIXray No objects detected Detection preview by DN_Medium_300_yolov8m_20t7_new No objects detected Detection preview by Segmentatation_v8_medium_train_250 No objects detected Detection preview by Segmentation_V11_large_300_train_300 No objects detected Detection preview by Segmentation_v8_large_300_train_300
Original Image: P04749.jpg
GT: pliers
pliers Detection preview by Box_v11_medium_train_SIXray_OPIXray No objects detected Detection preview by DN_Medium_300_yolov8m_20t7_new No objects detected Detection preview by Segmentatation_v8_medium_train_250 No objects detected Detection preview by Segmentation_V11_large_300_train_300 No objects detected Detection preview by Segmentation_v8_large_300_train_300
Original Image: P04750.jpg
GT: pliers
pliers Detection preview by Box_v11_medium_train_SIXray_OPIXray No objects detected Detection preview by DN_Medium_300_yolov8m_20t7_new No objects detected Detection preview by Segmentatation_v8_medium_train_250 No objects detected Detection preview by Segmentation_V11_large_300_train_300 No objects detected Detection preview by Segmentation_v8_large_300_train_300
Original Image: P04751.jpg
GT: wrench
wrench Detection preview by Box_v11_medium_train_SIXray_OPIXray No objects detected Detection preview by DN_Medium_300_yolov8m_20t7_new wrench Detection preview by Segmentatation_v8_medium_train_250 wrench Detection preview by Segmentation_V11_large_300_train_300 wrench Detection preview by Segmentation_v8_large_300_train_300
Original Image: P04752.jpg
GT: wrench
wrench Detection preview by Box_v11_medium_train_SIXray_OPIXray No objects detected Detection preview by DN_Medium_300_yolov8m_20t7_new wrench Detection preview by Segmentatation_v8_medium_train_250 wrench Detection preview by Segmentation_V11_large_300_train_300 wrench Detection preview by Segmentation_v8_large_300_train_300
Original Image: P04753.jpg
GT: pliers
pliers Detection preview by Box_v11_medium_train_SIXray_OPIXray No objects detected Detection preview by DN_Medium_300_yolov8m_20t7_new No objects detected Detection preview by Segmentatation_v8_medium_train_250 No objects detected Detection preview by Segmentation_V11_large_300_train_300 No objects detected Detection preview by Segmentation_v8_large_300_train_300
Original Image: P04754.jpg
GT: pliers
pliers Detection preview by Box_v11_medium_train_SIXray_OPIXray No objects detected Detection preview by DN_Medium_300_yolov8m_20t7_new No objects detected Detection preview by Segmentatation_v8_medium_train_250 No objects detected Detection preview by Segmentation_V11_large_300_train_300 No objects detected Detection preview by Segmentation_v8_large_300_train_300
Original Image: P04755.jpg
GT: pliers
pliers Detection preview by Box_v11_medium_train_SIXray_OPIXray No objects detected Detection preview by DN_Medium_300_yolov8m_20t7_new No objects detected Detection preview by Segmentatation_v8_medium_train_250 No objects detected Detection preview by Segmentation_V11_large_300_train_300 No objects detected Detection preview by Segmentation_v8_large_300_train_300
Original Image: P04756.jpg
GT: pliers
pliers Detection preview by Box_v11_medium_train_SIXray_OPIXray pliers Detection preview by DN_Medium_300_yolov8m_20t7_new No objects detected Detection preview by Segmentatation_v8_medium_train_250 scissor Detection preview by Segmentation_V11_large_300_train_300 No objects detected Detection preview by Segmentation_v8_large_300_train_300
Original Image: P04757.jpg
GT: pliers
pliers Detection preview by Box_v11_medium_train_SIXray_OPIXray pliers Detection preview by DN_Medium_300_yolov8m_20t7_new No objects detected Detection preview by Segmentatation_v8_medium_train_250 No objects detected Detection preview by Segmentation_V11_large_300_train_300 No objects detected Detection preview by Segmentation_v8_large_300_train_300
Original Image: P04758.jpg
GT: pliers
pliers Detection preview by Box_v11_medium_train_SIXray_OPIXray pliers Detection preview by DN_Medium_300_yolov8m_20t7_new No objects detected Detection preview by Segmentatation_v8_medium_train_250 No objects detected Detection preview by Segmentation_V11_large_300_train_300 No objects detected Detection preview by Segmentation_v8_large_300_train_300
Original Image: P04759.jpg
GT: scissors
scissor Detection preview by Box_v11_medium_train_SIXray_OPIXray No objects detected Detection preview by DN_Medium_300_yolov8m_20t7_new scissor Detection preview by Segmentatation_v8_medium_train_250 scissor Detection preview by Segmentation_V11_large_300_train_300 scissor Detection preview by Segmentation_v8_large_300_train_300
Original Image: P04760.jpg
GT: scissors
scissor Detection preview by Box_v11_medium_train_SIXray_OPIXray No objects detected Detection preview by DN_Medium_300_yolov8m_20t7_new scissor Detection preview by Segmentatation_v8_medium_train_250 scissor Detection preview by Segmentation_V11_large_300_train_300 scissor Detection preview by Segmentation_v8_large_300_train_300
Original Image: P04761.jpg
GT: pliers
pliers Detection preview by Box_v11_medium_train_SIXray_OPIXray No objects detected Detection preview by DN_Medium_300_yolov8m_20t7_new No objects detected Detection preview by Segmentatation_v8_medium_train_250 wrench Detection preview by Segmentation_V11_large_300_train_300 No objects detected Detection preview by Segmentation_v8_large_300_train_300
Original Image: P04762.jpg
GT: pliers
pliers Detection preview by Box_v11_medium_train_SIXray_OPIXray No objects detected Detection preview by DN_Medium_300_yolov8m_20t7_new No objects detected Detection preview by Segmentatation_v8_medium_train_250 No objects detected Detection preview by Segmentation_V11_large_300_train_300 No objects detected Detection preview by Segmentation_v8_large_300_train_300
Original Image: P04763.jpg
GT: pliers
pliers Detection preview by Box_v11_medium_train_SIXray_OPIXray No objects detected Detection preview by DN_Medium_300_yolov8m_20t7_new No objects detected Detection preview by Segmentatation_v8_medium_train_250 No objects detected Detection preview by Segmentation_V11_large_300_train_300 No objects detected Detection preview by Segmentation_v8_large_300_train_300
Original Image: P04764.jpg
GT: pliers
pliers Detection preview by Box_v11_medium_train_SIXray_OPIXray No objects detected Detection preview by DN_Medium_300_yolov8m_20t7_new No objects detected Detection preview by Segmentatation_v8_medium_train_250 No objects detected Detection preview by Segmentation_V11_large_300_train_300 No objects detected Detection preview by Segmentation_v8_large_300_train_300
Original Image: P04765.jpg
GT: pliers, wrench
pliers, wrench Detection preview by Box_v11_medium_train_SIXray_OPIXray No objects detected Detection preview by DN_Medium_300_yolov8m_20t7_new wrench Detection preview by Segmentatation_v8_medium_train_250 wrench Detection preview by Segmentation_V11_large_300_train_300 wrench Detection preview by Segmentation_v8_large_300_train_300
Original Image: P04766.jpg
GT: pliers, wrench
pliers, wrench Detection preview by Box_v11_medium_train_SIXray_OPIXray No objects detected Detection preview by DN_Medium_300_yolov8m_20t7_new wrench Detection preview by Segmentatation_v8_medium_train_250 wrench Detection preview by Segmentation_V11_large_300_train_300 wrench Detection preview by Segmentation_v8_large_300_train_300
Original Image: P04767.jpg
GT: pliers
pliers Detection preview by Box_v11_medium_train_SIXray_OPIXray No objects detected Detection preview by DN_Medium_300_yolov8m_20t7_new wrench Detection preview by Segmentatation_v8_medium_train_250 wrench Detection preview by Segmentation_V11_large_300_train_300 wrench Detection preview by Segmentation_v8_large_300_train_300
Original Image: P04768.jpg
GT: scissors
scissor Detection preview by Box_v11_medium_train_SIXray_OPIXray No objects detected Detection preview by DN_Medium_300_yolov8m_20t7_new scissor Detection preview by Segmentatation_v8_medium_train_250 scissor Detection preview by Segmentation_V11_large_300_train_300 scissor Detection preview by Segmentation_v8_large_300_train_300
Original Image: P04769.jpg
GT: pliers
pliers Detection preview by Box_v11_medium_train_SIXray_OPIXray No objects detected Detection preview by DN_Medium_300_yolov8m_20t7_new No objects detected Detection preview by Segmentatation_v8_medium_train_250 No objects detected Detection preview by Segmentation_V11_large_300_train_300 No objects detected Detection preview by Segmentation_v8_large_300_train_300
Original Image: P04770.jpg
GT: pliers
pliers Detection preview by Box_v11_medium_train_SIXray_OPIXray No objects detected Detection preview by DN_Medium_300_yolov8m_20t7_new No objects detected Detection preview by Segmentatation_v8_medium_train_250 No objects detected Detection preview by Segmentation_V11_large_300_train_300 No objects detected Detection preview by Segmentation_v8_large_300_train_300
Original Image: P04771.jpg
GT: pliers
pliers Detection preview by Box_v11_medium_train_SIXray_OPIXray No objects detected Detection preview by DN_Medium_300_yolov8m_20t7_new No objects detected Detection preview by Segmentatation_v8_medium_train_250 No objects detected Detection preview by Segmentation_V11_large_300_train_300 No objects detected Detection preview by Segmentation_v8_large_300_train_300
Original Image: P04772.jpg
GT: pliers
pliers Detection preview by Box_v11_medium_train_SIXray_OPIXray No objects detected Detection preview by DN_Medium_300_yolov8m_20t7_new No objects detected Detection preview by Segmentatation_v8_medium_train_250 No objects detected Detection preview by Segmentation_V11_large_300_train_300 No objects detected Detection preview by Segmentation_v8_large_300_train_300
Original Image: P04773.jpg
GT: wrench
wrench Detection preview by Box_v11_medium_train_SIXray_OPIXray No objects detected Detection preview by DN_Medium_300_yolov8m_20t7_new wrench Detection preview by Segmentatation_v8_medium_train_250 wrench Detection preview by Segmentation_V11_large_300_train_300 wrench Detection preview by Segmentation_v8_large_300_train_300
Original Image: P04774.jpg
GT: wrench
wrench Detection preview by Box_v11_medium_train_SIXray_OPIXray No objects detected Detection preview by DN_Medium_300_yolov8m_20t7_new wrench Detection preview by Segmentatation_v8_medium_train_250 wrench Detection preview by Segmentation_V11_large_300_train_300 wrench Detection preview by Segmentation_v8_large_300_train_300
Original Image: P04775.jpg
GT: wrench
wrench Detection preview by Box_v11_medium_train_SIXray_OPIXray No objects detected Detection preview by DN_Medium_300_yolov8m_20t7_new wrench Detection preview by Segmentatation_v8_medium_train_250 wrench Detection preview by Segmentation_V11_large_300_train_300 wrench Detection preview by Segmentation_v8_large_300_train_300
Original Image: P04776.jpg
GT: pliers
pliers Detection preview by Box_v11_medium_train_SIXray_OPIXray pliers Detection preview by DN_Medium_300_yolov8m_20t7_new No objects detected Detection preview by Segmentatation_v8_medium_train_250 No objects detected Detection preview by Segmentation_V11_large_300_train_300 No objects detected Detection preview by Segmentation_v8_large_300_train_300
Original Image: P04777.jpg
GT: pliers, wrench
pliers, wrench Detection preview by Box_v11_medium_train_SIXray_OPIXray No objects detected Detection preview by DN_Medium_300_yolov8m_20t7_new wrench Detection preview by Segmentatation_v8_medium_train_250 wrench Detection preview by Segmentation_V11_large_300_train_300 wrench Detection preview by Segmentation_v8_large_300_train_300
Original Image: P04778.jpg
GT: pliers, wrench
pliers, wrench Detection preview by Box_v11_medium_train_SIXray_OPIXray No objects detected Detection preview by DN_Medium_300_yolov8m_20t7_new No objects detected Detection preview by Segmentatation_v8_medium_train_250 wrench Detection preview by Segmentation_V11_large_300_train_300 No objects detected Detection preview by Segmentation_v8_large_300_train_300
Original Image: P04779.jpg
GT: scissors
scissor Detection preview by Box_v11_medium_train_SIXray_OPIXray No objects detected Detection preview by DN_Medium_300_yolov8m_20t7_new No objects detected Detection preview by Segmentatation_v8_medium_train_250 scissor Detection preview by Segmentation_V11_large_300_train_300 No objects detected Detection preview by Segmentation_v8_large_300_train_300
Original Image: P04780.jpg
GT: scissors
scissor Detection preview by Box_v11_medium_train_SIXray_OPIXray No objects detected Detection preview by DN_Medium_300_yolov8m_20t7_new No objects detected Detection preview by Segmentatation_v8_medium_train_250 scissor Detection preview by Segmentation_V11_large_300_train_300 scissor Detection preview by Segmentation_v8_large_300_train_300
Original Image: P04781.jpg
GT: scissors
scissor Detection preview by Box_v11_medium_train_SIXray_OPIXray No objects detected Detection preview by DN_Medium_300_yolov8m_20t7_new scissor Detection preview by Segmentatation_v8_medium_train_250 scissor Detection preview by Segmentation_V11_large_300_train_300 scissor Detection preview by Segmentation_v8_large_300_train_300
Original Image: P04782.jpg
GT: pliers, wrench
pliers, wrench Detection preview by Box_v11_medium_train_SIXray_OPIXray No objects detected Detection preview by DN_Medium_300_yolov8m_20t7_new wrench Detection preview by Segmentatation_v8_medium_train_250 wrench Detection preview by Segmentation_V11_large_300_train_300 wrench Detection preview by Segmentation_v8_large_300_train_300
Original Image: P04783.jpg
GT: pliers, wrench
pliers, wrench Detection preview by Box_v11_medium_train_SIXray_OPIXray No objects detected Detection preview by DN_Medium_300_yolov8m_20t7_new wrench Detection preview by Segmentatation_v8_medium_train_250 wrench Detection preview by Segmentation_V11_large_300_train_300 wrench Detection preview by Segmentation_v8_large_300_train_300
Original Image: P04784.jpg
GT: pliers, wrench
pliers, wrench Detection preview by Box_v11_medium_train_SIXray_OPIXray No objects detected Detection preview by DN_Medium_300_yolov8m_20t7_new No objects detected Detection preview by Segmentatation_v8_medium_train_250 No objects detected Detection preview by Segmentation_V11_large_300_train_300 No objects detected Detection preview by Segmentation_v8_large_300_train_300
Original Image: P04785.jpg
GT: scissors
scissor Detection preview by Box_v11_medium_train_SIXray_OPIXray No objects detected Detection preview by DN_Medium_300_yolov8m_20t7_new scissor Detection preview by Segmentatation_v8_medium_train_250 scissor Detection preview by Segmentation_V11_large_300_train_300 scissor Detection preview by Segmentation_v8_large_300_train_300
Original Image: P04786.jpg
GT: pliers, wrench
pliers, wrench Detection preview by Box_v11_medium_train_SIXray_OPIXray No objects detected Detection preview by DN_Medium_300_yolov8m_20t7_new wrench Detection preview by Segmentatation_v8_medium_train_250 wrench Detection preview by Segmentation_V11_large_300_train_300 wrench Detection preview by Segmentation_v8_large_300_train_300
Original Image: P04787.jpg
GT: pliers
pliers Detection preview by Box_v11_medium_train_SIXray_OPIXray No objects detected Detection preview by DN_Medium_300_yolov8m_20t7_new No objects detected Detection preview by Segmentatation_v8_medium_train_250 No objects detected Detection preview by Segmentation_V11_large_300_train_300 No objects detected Detection preview by Segmentation_v8_large_300_train_300
Original Image: P04788.jpg
GT: scissors
scissor Detection preview by Box_v11_medium_train_SIXray_OPIXray No objects detected Detection preview by DN_Medium_300_yolov8m_20t7_new scissor Detection preview by Segmentatation_v8_medium_train_250 scissor Detection preview by Segmentation_V11_large_300_train_300 scissor Detection preview by Segmentation_v8_large_300_train_300
Original Image: P04789.jpg
GT: scissors
scissor Detection preview by Box_v11_medium_train_SIXray_OPIXray No objects detected Detection preview by DN_Medium_300_yolov8m_20t7_new scissor Detection preview by Segmentatation_v8_medium_train_250 scissor Detection preview by Segmentation_V11_large_300_train_300 scissor Detection preview by Segmentation_v8_large_300_train_300
Original Image: P04790.jpg
GT: scissors
scissor Detection preview by Box_v11_medium_train_SIXray_OPIXray No objects detected Detection preview by DN_Medium_300_yolov8m_20t7_new scissor Detection preview by Segmentatation_v8_medium_train_250 scissor Detection preview by Segmentation_V11_large_300_train_300 scissor Detection preview by Segmentation_v8_large_300_train_300
Original Image: P04791.jpg
GT: pliers
pliers Detection preview by Box_v11_medium_train_SIXray_OPIXray No objects detected Detection preview by DN_Medium_300_yolov8m_20t7_new No objects detected Detection preview by Segmentatation_v8_medium_train_250 No objects detected Detection preview by Segmentation_V11_large_300_train_300 No objects detected Detection preview by Segmentation_v8_large_300_train_300
Original Image: P04792.jpg
GT: pliers
pliers Detection preview by Box_v11_medium_train_SIXray_OPIXray No objects detected Detection preview by DN_Medium_300_yolov8m_20t7_new No objects detected Detection preview by Segmentatation_v8_medium_train_250 No objects detected Detection preview by Segmentation_V11_large_300_train_300 No objects detected Detection preview by Segmentation_v8_large_300_train_300
Original Image: P04793.jpg
GT: pliers
pliers Detection preview by Box_v11_medium_train_SIXray_OPIXray No objects detected Detection preview by DN_Medium_300_yolov8m_20t7_new No objects detected Detection preview by Segmentatation_v8_medium_train_250 No objects detected Detection preview by Segmentation_V11_large_300_train_300 No objects detected Detection preview by Segmentation_v8_large_300_train_300
Original Image: P04794.jpg
GT: wrench
wrench Detection preview by Box_v11_medium_train_SIXray_OPIXray No objects detected Detection preview by DN_Medium_300_yolov8m_20t7_new wrench Detection preview by Segmentatation_v8_medium_train_250 wrench Detection preview by Segmentation_V11_large_300_train_300 wrench Detection preview by Segmentation_v8_large_300_train_300
Original Image: P04795.jpg
GT: wrench
wrench Detection preview by Box_v11_medium_train_SIXray_OPIXray No objects detected Detection preview by DN_Medium_300_yolov8m_20t7_new wrench Detection preview by Segmentatation_v8_medium_train_250 wrench Detection preview by Segmentation_V11_large_300_train_300 wrench Detection preview by Segmentation_v8_large_300_train_300
Original Image: P04796.jpg
GT: pliers
pliers Detection preview by Box_v11_medium_train_SIXray_OPIXray No objects detected Detection preview by DN_Medium_300_yolov8m_20t7_new No objects detected Detection preview by Segmentatation_v8_medium_train_250 No objects detected Detection preview by Segmentation_V11_large_300_train_300 No objects detected Detection preview by Segmentation_v8_large_300_train_300
Original Image: P04797.jpg
GT: pliers
pliers Detection preview by Box_v11_medium_train_SIXray_OPIXray No objects detected Detection preview by DN_Medium_300_yolov8m_20t7_new No objects detected Detection preview by Segmentatation_v8_medium_train_250 No objects detected Detection preview by Segmentation_V11_large_300_train_300 No objects detected Detection preview by Segmentation_v8_large_300_train_300
Original Image: P04798.jpg
GT: pliers
pliers Detection preview by Box_v11_medium_train_SIXray_OPIXray No objects detected Detection preview by DN_Medium_300_yolov8m_20t7_new No objects detected Detection preview by Segmentatation_v8_medium_train_250 No objects detected Detection preview by Segmentation_V11_large_300_train_300 No objects detected Detection preview by Segmentation_v8_large_300_train_300
Original Image: P04799.jpg
GT: wrench
wrench Detection preview by Box_v11_medium_train_SIXray_OPIXray No objects detected Detection preview by DN_Medium_300_yolov8m_20t7_new wrench Detection preview by Segmentatation_v8_medium_train_250 wrench Detection preview by Segmentation_V11_large_300_train_300 wrench Detection preview by Segmentation_v8_large_300_train_300
Original Image: P04800.jpg
GT: wrench
wrench Detection preview by Box_v11_medium_train_SIXray_OPIXray No objects detected Detection preview by DN_Medium_300_yolov8m_20t7_new wrench Detection preview by Segmentatation_v8_medium_train_250 wrench Detection preview by Segmentation_V11_large_300_train_300 wrench Detection preview by Segmentation_v8_large_300_train_300
Original Image: P04801.jpg
GT: pliers, wrench
pliers, wrench Detection preview by Box_v11_medium_train_SIXray_OPIXray pliers Detection preview by DN_Medium_300_yolov8m_20t7_new wrench Detection preview by Segmentatation_v8_medium_train_250 wrench Detection preview by Segmentation_V11_large_300_train_300 wrench Detection preview by Segmentation_v8_large_300_train_300
Original Image: P04802.jpg
GT: pliers, wrench
pliers, wrench Detection preview by Box_v11_medium_train_SIXray_OPIXray No objects detected Detection preview by DN_Medium_300_yolov8m_20t7_new wrench Detection preview by Segmentatation_v8_medium_train_250 wrench Detection preview by Segmentation_V11_large_300_train_300 wrench Detection preview by Segmentation_v8_large_300_train_300
Original Image: P04803.jpg
GT: pliers, wrench
pliers, wrench Detection preview by Box_v11_medium_train_SIXray_OPIXray pliers Detection preview by DN_Medium_300_yolov8m_20t7_new wrench Detection preview by Segmentatation_v8_medium_train_250 wrench Detection preview by Segmentation_V11_large_300_train_300 wrench Detection preview by Segmentation_v8_large_300_train_300
Original Image: P04804.jpg
GT: pliers
pliers Detection preview by Box_v11_medium_train_SIXray_OPIXray No objects detected Detection preview by DN_Medium_300_yolov8m_20t7_new No objects detected Detection preview by Segmentatation_v8_medium_train_250 No objects detected Detection preview by Segmentation_V11_large_300_train_300 No objects detected Detection preview by Segmentation_v8_large_300_train_300
Original Image: P04805.jpg
GT: pliers
pliers Detection preview by Box_v11_medium_train_SIXray_OPIXray No objects detected Detection preview by DN_Medium_300_yolov8m_20t7_new No objects detected Detection preview by Segmentatation_v8_medium_train_250 No objects detected Detection preview by Segmentation_V11_large_300_train_300 No objects detected Detection preview by Segmentation_v8_large_300_train_300
Original Image: P04806.jpg
GT: knife
knife Detection preview by Box_v11_medium_train_SIXray_OPIXray No objects detected Detection preview by DN_Medium_300_yolov8m_20t7_new scissor Detection preview by Segmentatation_v8_medium_train_250 scissor Detection preview by Segmentation_V11_large_300_train_300 scissor Detection preview by Segmentation_v8_large_300_train_300
Original Image: P04807.jpg
GT: knife
knife Detection preview by Box_v11_medium_train_SIXray_OPIXray No objects detected Detection preview by DN_Medium_300_yolov8m_20t7_new scissor Detection preview by Segmentatation_v8_medium_train_250 scissor Detection preview by Segmentation_V11_large_300_train_300 scissor Detection preview by Segmentation_v8_large_300_train_300
Original Image: P04808.jpg
GT: scissors
scissor Detection preview by Box_v11_medium_train_SIXray_OPIXray No objects detected Detection preview by DN_Medium_300_yolov8m_20t7_new scissor Detection preview by Segmentatation_v8_medium_train_250 scissor Detection preview by Segmentation_V11_large_300_train_300 scissor Detection preview by Segmentation_v8_large_300_train_300
Original Image: P04809.jpg
GT: scissors
scissor Detection preview by Box_v11_medium_train_SIXray_OPIXray No objects detected Detection preview by DN_Medium_300_yolov8m_20t7_new scissor Detection preview by Segmentatation_v8_medium_train_250 scissor Detection preview by Segmentation_V11_large_300_train_300 scissor Detection preview by Segmentation_v8_large_300_train_300
Original Image: P04810.jpg
GT: pliers
pliers Detection preview by Box_v11_medium_train_SIXray_OPIXray No objects detected Detection preview by DN_Medium_300_yolov8m_20t7_new No objects detected Detection preview by Segmentatation_v8_medium_train_250 No objects detected Detection preview by Segmentation_V11_large_300_train_300 No objects detected Detection preview by Segmentation_v8_large_300_train_300
Original Image: P04811.jpg
GT: pliers
pliers Detection preview by Box_v11_medium_train_SIXray_OPIXray No objects detected Detection preview by DN_Medium_300_yolov8m_20t7_new No objects detected Detection preview by Segmentatation_v8_medium_train_250 No objects detected Detection preview by Segmentation_V11_large_300_train_300 No objects detected Detection preview by Segmentation_v8_large_300_train_300
Original Image: P04812.jpg
GT: pliers
pliers Detection preview by Box_v11_medium_train_SIXray_OPIXray No objects detected Detection preview by DN_Medium_300_yolov8m_20t7_new No objects detected Detection preview by Segmentatation_v8_medium_train_250 No objects detected Detection preview by Segmentation_V11_large_300_train_300 No objects detected Detection preview by Segmentation_v8_large_300_train_300
Original Image: P04813.jpg
GT: pliers
pliers Detection preview by Box_v11_medium_train_SIXray_OPIXray No objects detected Detection preview by DN_Medium_300_yolov8m_20t7_new No objects detected Detection preview by Segmentatation_v8_medium_train_250 No objects detected Detection preview by Segmentation_V11_large_300_train_300 No objects detected Detection preview by Segmentation_v8_large_300_train_300
Original Image: P04814.jpg
GT: pliers
pliers Detection preview by Box_v11_medium_train_SIXray_OPIXray pliers Detection preview by DN_Medium_300_yolov8m_20t7_new No objects detected Detection preview by Segmentatation_v8_medium_train_250 No objects detected Detection preview by Segmentation_V11_large_300_train_300 No objects detected Detection preview by Segmentation_v8_large_300_train_300
Original Image: P04815.jpg
GT: pliers
pliers Detection preview by Box_v11_medium_train_SIXray_OPIXray pliers Detection preview by DN_Medium_300_yolov8m_20t7_new No objects detected Detection preview by Segmentatation_v8_medium_train_250 No objects detected Detection preview by Segmentation_V11_large_300_train_300 No objects detected Detection preview by Segmentation_v8_large_300_train_300
Original Image: P04816.jpg
GT: pliers
pliers Detection preview by Box_v11_medium_train_SIXray_OPIXray pliers Detection preview by DN_Medium_300_yolov8m_20t7_new No objects detected Detection preview by Segmentatation_v8_medium_train_250 No objects detected Detection preview by Segmentation_V11_large_300_train_300 No objects detected Detection preview by Segmentation_v8_large_300_train_300
Original Image: P04817.jpg
GT: pliers
pliers Detection preview by Box_v11_medium_train_SIXray_OPIXray No objects detected Detection preview by DN_Medium_300_yolov8m_20t7_new No objects detected Detection preview by Segmentatation_v8_medium_train_250 No objects detected Detection preview by Segmentation_V11_large_300_train_300 No objects detected Detection preview by Segmentation_v8_large_300_train_300
Original Image: P04818.jpg
GT: pliers
pliers Detection preview by Box_v11_medium_train_SIXray_OPIXray No objects detected Detection preview by DN_Medium_300_yolov8m_20t7_new No objects detected Detection preview by Segmentatation_v8_medium_train_250 No objects detected Detection preview by Segmentation_V11_large_300_train_300 No objects detected Detection preview by Segmentation_v8_large_300_train_300
Original Image: P04819.jpg
GT: pliers
pliers Detection preview by Box_v11_medium_train_SIXray_OPIXray No objects detected Detection preview by DN_Medium_300_yolov8m_20t7_new No objects detected Detection preview by Segmentatation_v8_medium_train_250 No objects detected Detection preview by Segmentation_V11_large_300_train_300 No objects detected Detection preview by Segmentation_v8_large_300_train_300
Original Image: P04820.jpg
GT: scissors
scissor Detection preview by Box_v11_medium_train_SIXray_OPIXray scissor Detection preview by DN_Medium_300_yolov8m_20t7_new scissor Detection preview by Segmentatation_v8_medium_train_250 scissor Detection preview by Segmentation_V11_large_300_train_300 scissor Detection preview by Segmentation_v8_large_300_train_300
Original Image: P04821.jpg
GT: scissors
scissor Detection preview by Box_v11_medium_train_SIXray_OPIXray No objects detected Detection preview by DN_Medium_300_yolov8m_20t7_new scissor Detection preview by Segmentatation_v8_medium_train_250 scissor Detection preview by Segmentation_V11_large_300_train_300 scissor Detection preview by Segmentation_v8_large_300_train_300
Original Image: P04822.jpg
GT: scissors
scissor Detection preview by Box_v11_medium_train_SIXray_OPIXray No objects detected Detection preview by DN_Medium_300_yolov8m_20t7_new scissor Detection preview by Segmentatation_v8_medium_train_250 scissor Detection preview by Segmentation_V11_large_300_train_300 scissor Detection preview by Segmentation_v8_large_300_train_300
Original Image: P04823.jpg
GT: scissors
scissor Detection preview by Box_v11_medium_train_SIXray_OPIXray No objects detected Detection preview by DN_Medium_300_yolov8m_20t7_new scissor Detection preview by Segmentatation_v8_medium_train_250 scissor Detection preview by Segmentation_V11_large_300_train_300 scissor Detection preview by Segmentation_v8_large_300_train_300
Original Image: P04824.jpg
GT: scissors
scissor Detection preview by Box_v11_medium_train_SIXray_OPIXray No objects detected Detection preview by DN_Medium_300_yolov8m_20t7_new scissor Detection preview by Segmentatation_v8_medium_train_250 scissor Detection preview by Segmentation_V11_large_300_train_300 scissor Detection preview by Segmentation_v8_large_300_train_300
Original Image: P04825.jpg
GT: scissors
scissor Detection preview by Box_v11_medium_train_SIXray_OPIXray No objects detected Detection preview by DN_Medium_300_yolov8m_20t7_new scissor Detection preview by Segmentatation_v8_medium_train_250 scissor Detection preview by Segmentation_V11_large_300_train_300 scissor Detection preview by Segmentation_v8_large_300_train_300
Original Image: P04826.jpg
GT: scissors
scissor Detection preview by Box_v11_medium_train_SIXray_OPIXray No objects detected Detection preview by DN_Medium_300_yolov8m_20t7_new scissor Detection preview by Segmentatation_v8_medium_train_250 scissor Detection preview by Segmentation_V11_large_300_train_300 scissor Detection preview by Segmentation_v8_large_300_train_300
Original Image: P04827.jpg
GT: scissors
scissor Detection preview by Box_v11_medium_train_SIXray_OPIXray No objects detected Detection preview by DN_Medium_300_yolov8m_20t7_new scissor Detection preview by Segmentatation_v8_medium_train_250 scissor Detection preview by Segmentation_V11_large_300_train_300 scissor Detection preview by Segmentation_v8_large_300_train_300
Original Image: P04828.jpg
GT: pliers, wrench
pliers, wrench Detection preview by Box_v11_medium_train_SIXray_OPIXray No objects detected Detection preview by DN_Medium_300_yolov8m_20t7_new wrench Detection preview by Segmentatation_v8_medium_train_250 wrench Detection preview by Segmentation_V11_large_300_train_300 wrench Detection preview by Segmentation_v8_large_300_train_300
Original Image: P04829.jpg
GT: scissors
scissor Detection preview by Box_v11_medium_train_SIXray_OPIXray No objects detected Detection preview by DN_Medium_300_yolov8m_20t7_new scissor Detection preview by Segmentatation_v8_medium_train_250 scissor Detection preview by Segmentation_V11_large_300_train_300 scissor Detection preview by Segmentation_v8_large_300_train_300
Original Image: P04830.jpg
GT: scissors
scissor Detection preview by Box_v11_medium_train_SIXray_OPIXray No objects detected Detection preview by DN_Medium_300_yolov8m_20t7_new scissor Detection preview by Segmentatation_v8_medium_train_250 scissor Detection preview by Segmentation_V11_large_300_train_300 scissor Detection preview by Segmentation_v8_large_300_train_300
Original Image: P04831.jpg
GT: scissors
scissor Detection preview by Box_v11_medium_train_SIXray_OPIXray No objects detected Detection preview by DN_Medium_300_yolov8m_20t7_new scissor Detection preview by Segmentatation_v8_medium_train_250 scissor Detection preview by Segmentation_V11_large_300_train_300 scissor Detection preview by Segmentation_v8_large_300_train_300
Original Image: P04832.jpg
GT: scissors
scissor Detection preview by Box_v11_medium_train_SIXray_OPIXray No objects detected Detection preview by DN_Medium_300_yolov8m_20t7_new scissor Detection preview by Segmentatation_v8_medium_train_250 scissor Detection preview by Segmentation_V11_large_300_train_300 scissor Detection preview by Segmentation_v8_large_300_train_300
Original Image: P04833.jpg
GT: scissors
scissor Detection preview by Box_v11_medium_train_SIXray_OPIXray No objects detected Detection preview by DN_Medium_300_yolov8m_20t7_new scissor Detection preview by Segmentatation_v8_medium_train_250 scissor Detection preview by Segmentation_V11_large_300_train_300 scissor Detection preview by Segmentation_v8_large_300_train_300
Original Image: P04834.jpg
GT: scissors
scissor Detection preview by Box_v11_medium_train_SIXray_OPIXray No objects detected Detection preview by DN_Medium_300_yolov8m_20t7_new scissor Detection preview by Segmentatation_v8_medium_train_250 scissor Detection preview by Segmentation_V11_large_300_train_300 scissor Detection preview by Segmentation_v8_large_300_train_300
Original Image: P04835.jpg
GT: scissors
scissor Detection preview by Box_v11_medium_train_SIXray_OPIXray No objects detected Detection preview by DN_Medium_300_yolov8m_20t7_new scissor Detection preview by Segmentatation_v8_medium_train_250 scissor Detection preview by Segmentation_V11_large_300_train_300 scissor Detection preview by Segmentation_v8_large_300_train_300
Original Image: P04836.jpg
GT: pliers, wrench
pliers, wrench Detection preview by Box_v11_medium_train_SIXray_OPIXray No objects detected Detection preview by DN_Medium_300_yolov8m_20t7_new wrench Detection preview by Segmentatation_v8_medium_train_250 wrench Detection preview by Segmentation_V11_large_300_train_300 wrench Detection preview by Segmentation_v8_large_300_train_300
Original Image: P04837.jpg
GT: pliers
pliers Detection preview by Box_v11_medium_train_SIXray_OPIXray No objects detected Detection preview by DN_Medium_300_yolov8m_20t7_new No objects detected Detection preview by Segmentatation_v8_medium_train_250 No objects detected Detection preview by Segmentation_V11_large_300_train_300 No objects detected Detection preview by Segmentation_v8_large_300_train_300
Original Image: P04838.jpg
GT: pliers
pliers Detection preview by Box_v11_medium_train_SIXray_OPIXray No objects detected Detection preview by DN_Medium_300_yolov8m_20t7_new No objects detected Detection preview by Segmentatation_v8_medium_train_250 No objects detected Detection preview by Segmentation_V11_large_300_train_300 No objects detected Detection preview by Segmentation_v8_large_300_train_300
Original Image: P04839.jpg
GT: pliers
pliers Detection preview by Box_v11_medium_train_SIXray_OPIXray No objects detected Detection preview by DN_Medium_300_yolov8m_20t7_new No objects detected Detection preview by Segmentatation_v8_medium_train_250 No objects detected Detection preview by Segmentation_V11_large_300_train_300 No objects detected Detection preview by Segmentation_v8_large_300_train_300
Original Image: P04840.jpg
GT: scissors
scissor Detection preview by Box_v11_medium_train_SIXray_OPIXray scissor Detection preview by DN_Medium_300_yolov8m_20t7_new scissor Detection preview by Segmentatation_v8_medium_train_250 scissor Detection preview by Segmentation_V11_large_300_train_300 scissor Detection preview by Segmentation_v8_large_300_train_300
Original Image: P04841.jpg
GT: scissors
scissor Detection preview by Box_v11_medium_train_SIXray_OPIXray scissor Detection preview by DN_Medium_300_yolov8m_20t7_new scissor Detection preview by Segmentatation_v8_medium_train_250 scissor Detection preview by Segmentation_V11_large_300_train_300 scissor Detection preview by Segmentation_v8_large_300_train_300
Original Image: P04842.jpg
GT: pliers
pliers Detection preview by Box_v11_medium_train_SIXray_OPIXray No objects detected Detection preview by DN_Medium_300_yolov8m_20t7_new No objects detected Detection preview by Segmentatation_v8_medium_train_250 No objects detected Detection preview by Segmentation_V11_large_300_train_300 No objects detected Detection preview by Segmentation_v8_large_300_train_300
Original Image: P04843.jpg
GT: pliers
pliers Detection preview by Box_v11_medium_train_SIXray_OPIXray No objects detected Detection preview by DN_Medium_300_yolov8m_20t7_new No objects detected Detection preview by Segmentatation_v8_medium_train_250 No objects detected Detection preview by Segmentation_V11_large_300_train_300 No objects detected Detection preview by Segmentation_v8_large_300_train_300
Original Image: P04844.jpg
GT: pliers
pliers Detection preview by Box_v11_medium_train_SIXray_OPIXray No objects detected Detection preview by DN_Medium_300_yolov8m_20t7_new No objects detected Detection preview by Segmentatation_v8_medium_train_250 No objects detected Detection preview by Segmentation_V11_large_300_train_300 No objects detected Detection preview by Segmentation_v8_large_300_train_300
Original Image: P04845.jpg
GT: wrench
wrench Detection preview by Box_v11_medium_train_SIXray_OPIXray No objects detected Detection preview by DN_Medium_300_yolov8m_20t7_new wrench Detection preview by Segmentatation_v8_medium_train_250 wrench Detection preview by Segmentation_V11_large_300_train_300 wrench Detection preview by Segmentation_v8_large_300_train_300
Original Image: P04846.jpg
GT: pliers, wrench
pliers, wrench Detection preview by Box_v11_medium_train_SIXray_OPIXray pliers Detection preview by DN_Medium_300_yolov8m_20t7_new wrench Detection preview by Segmentatation_v8_medium_train_250 wrench Detection preview by Segmentation_V11_large_300_train_300 wrench Detection preview by Segmentation_v8_large_300_train_300
Original Image: P04847.jpg
GT: pliers, wrench
pliers, wrench Detection preview by Box_v11_medium_train_SIXray_OPIXray No objects detected Detection preview by DN_Medium_300_yolov8m_20t7_new wrench Detection preview by Segmentatation_v8_medium_train_250 wrench Detection preview by Segmentation_V11_large_300_train_300 wrench Detection preview by Segmentation_v8_large_300_train_300
Original Image: P04848.jpg
GT: pliers, wrench
pliers, wrench Detection preview by Box_v11_medium_train_SIXray_OPIXray No objects detected Detection preview by DN_Medium_300_yolov8m_20t7_new wrench Detection preview by Segmentatation_v8_medium_train_250 wrench Detection preview by Segmentation_V11_large_300_train_300 wrench Detection preview by Segmentation_v8_large_300_train_300
Original Image: P04849.jpg
GT: wrench
wrench Detection preview by Box_v11_medium_train_SIXray_OPIXray No objects detected Detection preview by DN_Medium_300_yolov8m_20t7_new wrench Detection preview by Segmentatation_v8_medium_train_250 wrench Detection preview by Segmentation_V11_large_300_train_300 wrench Detection preview by Segmentation_v8_large_300_train_300
Original Image: P04850.jpg
GT: pliers
pliers Detection preview by Box_v11_medium_train_SIXray_OPIXray No objects detected Detection preview by DN_Medium_300_yolov8m_20t7_new No objects detected Detection preview by Segmentatation_v8_medium_train_250 No objects detected Detection preview by Segmentation_V11_large_300_train_300 No objects detected Detection preview by Segmentation_v8_large_300_train_300
Original Image: P04851.jpg
GT: pliers, wrench
pliers, wrench Detection preview by Box_v11_medium_train_SIXray_OPIXray No objects detected Detection preview by DN_Medium_300_yolov8m_20t7_new wrench Detection preview by Segmentatation_v8_medium_train_250 wrench Detection preview by Segmentation_V11_large_300_train_300 wrench Detection preview by Segmentation_v8_large_300_train_300
Original Image: P04852.jpg
GT: pliers, wrench
pliers, wrench Detection preview by Box_v11_medium_train_SIXray_OPIXray No objects detected Detection preview by DN_Medium_300_yolov8m_20t7_new wrench Detection preview by Segmentatation_v8_medium_train_250 wrench Detection preview by Segmentation_V11_large_300_train_300 wrench Detection preview by Segmentation_v8_large_300_train_300
Original Image: P04853.jpg
GT: pliers
pliers Detection preview by Box_v11_medium_train_SIXray_OPIXray No objects detected Detection preview by DN_Medium_300_yolov8m_20t7_new No objects detected Detection preview by Segmentatation_v8_medium_train_250 No objects detected Detection preview by Segmentation_V11_large_300_train_300 No objects detected Detection preview by Segmentation_v8_large_300_train_300
Original Image: P04854.jpg
GT: pliers
pliers Detection preview by Box_v11_medium_train_SIXray_OPIXray pliers Detection preview by DN_Medium_300_yolov8m_20t7_new No objects detected Detection preview by Segmentatation_v8_medium_train_250 No objects detected Detection preview by Segmentation_V11_large_300_train_300 No objects detected Detection preview by Segmentation_v8_large_300_train_300
Original Image: P04855.jpg
GT: pliers
pliers Detection preview by Box_v11_medium_train_SIXray_OPIXray pliers Detection preview by DN_Medium_300_yolov8m_20t7_new No objects detected Detection preview by Segmentatation_v8_medium_train_250 No objects detected Detection preview by Segmentation_V11_large_300_train_300 No objects detected Detection preview by Segmentation_v8_large_300_train_300
Original Image: P04856.jpg
GT: wrench
wrench Detection preview by Box_v11_medium_train_SIXray_OPIXray No objects detected Detection preview by DN_Medium_300_yolov8m_20t7_new wrench Detection preview by Segmentatation_v8_medium_train_250 wrench Detection preview by Segmentation_V11_large_300_train_300 wrench Detection preview by Segmentation_v8_large_300_train_300
Original Image: P04857.jpg
GT: scissors
scissor Detection preview by Box_v11_medium_train_SIXray_OPIXray No objects detected Detection preview by DN_Medium_300_yolov8m_20t7_new scissor Detection preview by Segmentatation_v8_medium_train_250 scissor Detection preview by Segmentation_V11_large_300_train_300 scissor Detection preview by Segmentation_v8_large_300_train_300
Original Image: P04858.jpg
GT: wrench
wrench Detection preview by Box_v11_medium_train_SIXray_OPIXray No objects detected Detection preview by DN_Medium_300_yolov8m_20t7_new scissor, wrench Detection preview by Segmentatation_v8_medium_train_250 wrench Detection preview by Segmentation_V11_large_300_train_300 wrench Detection preview by Segmentation_v8_large_300_train_300
Original Image: P04859.jpg
GT: scissors
scissor Detection preview by Box_v11_medium_train_SIXray_OPIXray No objects detected Detection preview by DN_Medium_300_yolov8m_20t7_new scissor Detection preview by Segmentatation_v8_medium_train_250 scissor Detection preview by Segmentation_V11_large_300_train_300 scissor Detection preview by Segmentation_v8_large_300_train_300
Original Image: P04860.jpg
GT: pliers
pliers Detection preview by Box_v11_medium_train_SIXray_OPIXray No objects detected Detection preview by DN_Medium_300_yolov8m_20t7_new No objects detected Detection preview by Segmentatation_v8_medium_train_250 No objects detected Detection preview by Segmentation_V11_large_300_train_300 No objects detected Detection preview by Segmentation_v8_large_300_train_300
Original Image: P04861.jpg
GT: pliers, wrench
pliers, wrench Detection preview by Box_v11_medium_train_SIXray_OPIXray No objects detected Detection preview by DN_Medium_300_yolov8m_20t7_new wrench Detection preview by Segmentatation_v8_medium_train_250 scissor, wrench Detection preview by Segmentation_V11_large_300_train_300 wrench Detection preview by Segmentation_v8_large_300_train_300
Original Image: P04862.jpg
GT: pliers, wrench
pliers, wrench Detection preview by Box_v11_medium_train_SIXray_OPIXray No objects detected Detection preview by DN_Medium_300_yolov8m_20t7_new wrench Detection preview by Segmentatation_v8_medium_train_250 scissor, wrench Detection preview by Segmentation_V11_large_300_train_300 wrench Detection preview by Segmentation_v8_large_300_train_300
Original Image: P04863.jpg
GT: pliers
pliers Detection preview by Box_v11_medium_train_SIXray_OPIXray pliers Detection preview by DN_Medium_300_yolov8m_20t7_new No objects detected Detection preview by Segmentatation_v8_medium_train_250 No objects detected Detection preview by Segmentation_V11_large_300_train_300 wrench Detection preview by Segmentation_v8_large_300_train_300
Original Image: P04864.jpg
GT: pliers
pliers Detection preview by Box_v11_medium_train_SIXray_OPIXray No objects detected Detection preview by DN_Medium_300_yolov8m_20t7_new No objects detected Detection preview by Segmentatation_v8_medium_train_250 No objects detected Detection preview by Segmentation_V11_large_300_train_300 No objects detected Detection preview by Segmentation_v8_large_300_train_300
Original Image: P04865.jpg
GT: scissors
scissor Detection preview by Box_v11_medium_train_SIXray_OPIXray No objects detected Detection preview by DN_Medium_300_yolov8m_20t7_new scissor Detection preview by Segmentatation_v8_medium_train_250 scissor Detection preview by Segmentation_V11_large_300_train_300 scissor Detection preview by Segmentation_v8_large_300_train_300
Original Image: P04866.jpg
GT: pliers
pliers Detection preview by Box_v11_medium_train_SIXray_OPIXray pliers Detection preview by DN_Medium_300_yolov8m_20t7_new No objects detected Detection preview by Segmentatation_v8_medium_train_250 No objects detected Detection preview by Segmentation_V11_large_300_train_300 No objects detected Detection preview by Segmentation_v8_large_300_train_300
Original Image: P04867.jpg
GT: pliers
pliers Detection preview by Box_v11_medium_train_SIXray_OPIXray No objects detected Detection preview by DN_Medium_300_yolov8m_20t7_new No objects detected Detection preview by Segmentatation_v8_medium_train_250 No objects detected Detection preview by Segmentation_V11_large_300_train_300 No objects detected Detection preview by Segmentation_v8_large_300_train_300
Original Image: P04868.jpg
GT: pliers
pliers Detection preview by Box_v11_medium_train_SIXray_OPIXray pliers Detection preview by DN_Medium_300_yolov8m_20t7_new No objects detected Detection preview by Segmentatation_v8_medium_train_250 scissor Detection preview by Segmentation_V11_large_300_train_300 No objects detected Detection preview by Segmentation_v8_large_300_train_300
Original Image: P04869.jpg
GT: pliers
pliers Detection preview by Box_v11_medium_train_SIXray_OPIXray No objects detected Detection preview by DN_Medium_300_yolov8m_20t7_new No objects detected Detection preview by Segmentatation_v8_medium_train_250 No objects detected Detection preview by Segmentation_V11_large_300_train_300 No objects detected Detection preview by Segmentation_v8_large_300_train_300
Original Image: P04870.jpg
GT: pliers
pliers Detection preview by Box_v11_medium_train_SIXray_OPIXray No objects detected Detection preview by DN_Medium_300_yolov8m_20t7_new No objects detected Detection preview by Segmentatation_v8_medium_train_250 No objects detected Detection preview by Segmentation_V11_large_300_train_300 No objects detected Detection preview by Segmentation_v8_large_300_train_300
Original Image: P04871.jpg
GT: pliers
pliers Detection preview by Box_v11_medium_train_SIXray_OPIXray No objects detected Detection preview by DN_Medium_300_yolov8m_20t7_new No objects detected Detection preview by Segmentatation_v8_medium_train_250 No objects detected Detection preview by Segmentation_V11_large_300_train_300 No objects detected Detection preview by Segmentation_v8_large_300_train_300
Original Image: P04872.jpg
GT: pliers
pliers Detection preview by Box_v11_medium_train_SIXray_OPIXray No objects detected Detection preview by DN_Medium_300_yolov8m_20t7_new No objects detected Detection preview by Segmentatation_v8_medium_train_250 No objects detected Detection preview by Segmentation_V11_large_300_train_300 No objects detected Detection preview by Segmentation_v8_large_300_train_300
Original Image: P04873.jpg
GT: pliers
pliers Detection preview by Box_v11_medium_train_SIXray_OPIXray No objects detected Detection preview by DN_Medium_300_yolov8m_20t7_new No objects detected Detection preview by Segmentatation_v8_medium_train_250 No objects detected Detection preview by Segmentation_V11_large_300_train_300 No objects detected Detection preview by Segmentation_v8_large_300_train_300
Original Image: P04874.jpg
GT: scissors
scissor Detection preview by Box_v11_medium_train_SIXray_OPIXray No objects detected Detection preview by DN_Medium_300_yolov8m_20t7_new scissor Detection preview by Segmentatation_v8_medium_train_250 scissor Detection preview by Segmentation_V11_large_300_train_300 scissor Detection preview by Segmentation_v8_large_300_train_300
Original Image: P04875.jpg
GT: pliers, wrench
pliers, wrench Detection preview by Box_v11_medium_train_SIXray_OPIXray No objects detected Detection preview by DN_Medium_300_yolov8m_20t7_new wrench Detection preview by Segmentatation_v8_medium_train_250 wrench Detection preview by Segmentation_V11_large_300_train_300 wrench Detection preview by Segmentation_v8_large_300_train_300
Original Image: P04876.jpg
GT: pliers, wrench
pliers, wrench Detection preview by Box_v11_medium_train_SIXray_OPIXray No objects detected Detection preview by DN_Medium_300_yolov8m_20t7_new wrench Detection preview by Segmentatation_v8_medium_train_250 wrench Detection preview by Segmentation_V11_large_300_train_300 wrench Detection preview by Segmentation_v8_large_300_train_300
Original Image: P04877.jpg
GT: wrench
wrench Detection preview by Box_v11_medium_train_SIXray_OPIXray No objects detected Detection preview by DN_Medium_300_yolov8m_20t7_new wrench Detection preview by Segmentatation_v8_medium_train_250 wrench Detection preview by Segmentation_V11_large_300_train_300 wrench Detection preview by Segmentation_v8_large_300_train_300
Original Image: P04878.jpg
GT: wrench
wrench Detection preview by Box_v11_medium_train_SIXray_OPIXray No objects detected Detection preview by DN_Medium_300_yolov8m_20t7_new wrench Detection preview by Segmentatation_v8_medium_train_250 wrench Detection preview by Segmentation_V11_large_300_train_300 wrench Detection preview by Segmentation_v8_large_300_train_300
Original Image: P04879.jpg
GT: pliers
pliers Detection preview by Box_v11_medium_train_SIXray_OPIXray No objects detected Detection preview by DN_Medium_300_yolov8m_20t7_new No objects detected Detection preview by Segmentatation_v8_medium_train_250 No objects detected Detection preview by Segmentation_V11_large_300_train_300 No objects detected Detection preview by Segmentation_v8_large_300_train_300
Original Image: P04880.jpg
GT: pliers
pliers Detection preview by Box_v11_medium_train_SIXray_OPIXray No objects detected Detection preview by DN_Medium_300_yolov8m_20t7_new No objects detected Detection preview by Segmentatation_v8_medium_train_250 No objects detected Detection preview by Segmentation_V11_large_300_train_300 No objects detected Detection preview by Segmentation_v8_large_300_train_300
Original Image: P04881.jpg
GT: pliers
pliers Detection preview by Box_v11_medium_train_SIXray_OPIXray No objects detected Detection preview by DN_Medium_300_yolov8m_20t7_new No objects detected Detection preview by Segmentatation_v8_medium_train_250 No objects detected Detection preview by Segmentation_V11_large_300_train_300 No objects detected Detection preview by Segmentation_v8_large_300_train_300
Original Image: P04882.jpg
GT: pliers
pliers Detection preview by Box_v11_medium_train_SIXray_OPIXray No objects detected Detection preview by DN_Medium_300_yolov8m_20t7_new No objects detected Detection preview by Segmentatation_v8_medium_train_250 No objects detected Detection preview by Segmentation_V11_large_300_train_300 No objects detected Detection preview by Segmentation_v8_large_300_train_300
Original Image: P04883.jpg
GT: pliers
pliers Detection preview by Box_v11_medium_train_SIXray_OPIXray No objects detected Detection preview by DN_Medium_300_yolov8m_20t7_new No objects detected Detection preview by Segmentatation_v8_medium_train_250 No objects detected Detection preview by Segmentation_V11_large_300_train_300 No objects detected Detection preview by Segmentation_v8_large_300_train_300
Original Image: P04884.jpg
GT: pliers
pliers Detection preview by Box_v11_medium_train_SIXray_OPIXray pliers Detection preview by DN_Medium_300_yolov8m_20t7_new No objects detected Detection preview by Segmentatation_v8_medium_train_250 No objects detected Detection preview by Segmentation_V11_large_300_train_300 No objects detected Detection preview by Segmentation_v8_large_300_train_300
Original Image: P04885.jpg
GT: pliers, wrench
pliers, wrench Detection preview by Box_v11_medium_train_SIXray_OPIXray No objects detected Detection preview by DN_Medium_300_yolov8m_20t7_new wrench Detection preview by Segmentatation_v8_medium_train_250 wrench Detection preview by Segmentation_V11_large_300_train_300 wrench Detection preview by Segmentation_v8_large_300_train_300
Original Image: P04886.jpg
GT: pliers
pliers Detection preview by Box_v11_medium_train_SIXray_OPIXray pliers Detection preview by DN_Medium_300_yolov8m_20t7_new No objects detected Detection preview by Segmentatation_v8_medium_train_250 No objects detected Detection preview by Segmentation_V11_large_300_train_300 No objects detected Detection preview by Segmentation_v8_large_300_train_300
Original Image: P04887.jpg
GT: wrench
wrench Detection preview by Box_v11_medium_train_SIXray_OPIXray No objects detected Detection preview by DN_Medium_300_yolov8m_20t7_new wrench Detection preview by Segmentatation_v8_medium_train_250 wrench Detection preview by Segmentation_V11_large_300_train_300 wrench Detection preview by Segmentation_v8_large_300_train_300
Original Image: P04888.jpg
GT: wrench
wrench Detection preview by Box_v11_medium_train_SIXray_OPIXray No objects detected Detection preview by DN_Medium_300_yolov8m_20t7_new wrench Detection preview by Segmentatation_v8_medium_train_250 wrench Detection preview by Segmentation_V11_large_300_train_300 wrench Detection preview by Segmentation_v8_large_300_train_300
Original Image: P04889.jpg
GT: pliers
pliers Detection preview by Box_v11_medium_train_SIXray_OPIXray No objects detected Detection preview by DN_Medium_300_yolov8m_20t7_new No objects detected Detection preview by Segmentatation_v8_medium_train_250 No objects detected Detection preview by Segmentation_V11_large_300_train_300 No objects detected Detection preview by Segmentation_v8_large_300_train_300
Original Image: P04890.jpg
GT: scissors
scissor Detection preview by Box_v11_medium_train_SIXray_OPIXray No objects detected Detection preview by DN_Medium_300_yolov8m_20t7_new scissor Detection preview by Segmentatation_v8_medium_train_250 scissor Detection preview by Segmentation_V11_large_300_train_300 scissor Detection preview by Segmentation_v8_large_300_train_300
Original Image: P04891.jpg
GT: pliers
pliers Detection preview by Box_v11_medium_train_SIXray_OPIXray No objects detected Detection preview by DN_Medium_300_yolov8m_20t7_new No objects detected Detection preview by Segmentatation_v8_medium_train_250 No objects detected Detection preview by Segmentation_V11_large_300_train_300 No objects detected Detection preview by Segmentation_v8_large_300_train_300
Original Image: P04892.jpg
GT: pliers
pliers Detection preview by Box_v11_medium_train_SIXray_OPIXray No objects detected Detection preview by DN_Medium_300_yolov8m_20t7_new No objects detected Detection preview by Segmentatation_v8_medium_train_250 No objects detected Detection preview by Segmentation_V11_large_300_train_300 No objects detected Detection preview by Segmentation_v8_large_300_train_300
Original Image: P04893.jpg
GT: pliers
pliers Detection preview by Box_v11_medium_train_SIXray_OPIXray No objects detected Detection preview by DN_Medium_300_yolov8m_20t7_new No objects detected Detection preview by Segmentatation_v8_medium_train_250 No objects detected Detection preview by Segmentation_V11_large_300_train_300 No objects detected Detection preview by Segmentation_v8_large_300_train_300
Original Image: P04894.jpg
GT: pliers, scissors
pliers, scissor Detection preview by Box_v11_medium_train_SIXray_OPIXray No objects detected Detection preview by DN_Medium_300_yolov8m_20t7_new scissor Detection preview by Segmentatation_v8_medium_train_250 scissor Detection preview by Segmentation_V11_large_300_train_300 scissor Detection preview by Segmentation_v8_large_300_train_300
Original Image: P04895.jpg
GT: pliers, scissors
pliers, scissor Detection preview by Box_v11_medium_train_SIXray_OPIXray No objects detected Detection preview by DN_Medium_300_yolov8m_20t7_new scissor Detection preview by Segmentatation_v8_medium_train_250 scissor Detection preview by Segmentation_V11_large_300_train_300 scissor Detection preview by Segmentation_v8_large_300_train_300
Original Image: P04896.jpg
GT: scissors
scissor Detection preview by Box_v11_medium_train_SIXray_OPIXray No objects detected Detection preview by DN_Medium_300_yolov8m_20t7_new scissor Detection preview by Segmentatation_v8_medium_train_250 scissor Detection preview by Segmentation_V11_large_300_train_300 scissor Detection preview by Segmentation_v8_large_300_train_300
Original Image: P04897.jpg
GT: pliers
pliers Detection preview by Box_v11_medium_train_SIXray_OPIXray No objects detected Detection preview by DN_Medium_300_yolov8m_20t7_new No objects detected Detection preview by Segmentatation_v8_medium_train_250 No objects detected Detection preview by Segmentation_V11_large_300_train_300 No objects detected Detection preview by Segmentation_v8_large_300_train_300
Original Image: P04898.jpg
GT: scissors
scissor Detection preview by Box_v11_medium_train_SIXray_OPIXray No objects detected Detection preview by DN_Medium_300_yolov8m_20t7_new scissor Detection preview by Segmentatation_v8_medium_train_250 scissor Detection preview by Segmentation_V11_large_300_train_300 scissor Detection preview by Segmentation_v8_large_300_train_300
Original Image: P04899.jpg
GT: scissors
scissor Detection preview by Box_v11_medium_train_SIXray_OPIXray No objects detected Detection preview by DN_Medium_300_yolov8m_20t7_new scissor Detection preview by Segmentatation_v8_medium_train_250 scissor Detection preview by Segmentation_V11_large_300_train_300 scissor Detection preview by Segmentation_v8_large_300_train_300
Original Image: P04900.jpg
GT: pliers, wrench
pliers, wrench Detection preview by Box_v11_medium_train_SIXray_OPIXray No objects detected Detection preview by DN_Medium_300_yolov8m_20t7_new wrench Detection preview by Segmentatation_v8_medium_train_250 wrench Detection preview by Segmentation_V11_large_300_train_300 wrench Detection preview by Segmentation_v8_large_300_train_300
Original Image: P04901.jpg
GT: pliers, wrench
pliers, wrench Detection preview by Box_v11_medium_train_SIXray_OPIXray No objects detected Detection preview by DN_Medium_300_yolov8m_20t7_new wrench Detection preview by Segmentatation_v8_medium_train_250 wrench Detection preview by Segmentation_V11_large_300_train_300 wrench Detection preview by Segmentation_v8_large_300_train_300
Original Image: P04902.jpg
GT: pliers, wrench
pliers, wrench Detection preview by Box_v11_medium_train_SIXray_OPIXray No objects detected Detection preview by DN_Medium_300_yolov8m_20t7_new wrench Detection preview by Segmentatation_v8_medium_train_250 wrench Detection preview by Segmentation_V11_large_300_train_300 wrench Detection preview by Segmentation_v8_large_300_train_300
Original Image: P04903.jpg
GT: knife
knife Detection preview by Box_v11_medium_train_SIXray_OPIXray scissor Detection preview by DN_Medium_300_yolov8m_20t7_new scissor Detection preview by Segmentatation_v8_medium_train_250 scissor Detection preview by Segmentation_V11_large_300_train_300 scissor Detection preview by Segmentation_v8_large_300_train_300
Original Image: P04904.jpg
GT: pliers
pliers Detection preview by Box_v11_medium_train_SIXray_OPIXray No objects detected Detection preview by DN_Medium_300_yolov8m_20t7_new wrench Detection preview by Segmentatation_v8_medium_train_250 No objects detected Detection preview by Segmentation_V11_large_300_train_300 No objects detected Detection preview by Segmentation_v8_large_300_train_300
Original Image: P04905.jpg
GT: pliers, wrench
pliers, wrench Detection preview by Box_v11_medium_train_SIXray_OPIXray No objects detected Detection preview by DN_Medium_300_yolov8m_20t7_new wrench Detection preview by Segmentatation_v8_medium_train_250 wrench Detection preview by Segmentation_V11_large_300_train_300 wrench Detection preview by Segmentation_v8_large_300_train_300
Original Image: P04906.jpg
GT: pliers, wrench
pliers, wrench Detection preview by Box_v11_medium_train_SIXray_OPIXray No objects detected Detection preview by DN_Medium_300_yolov8m_20t7_new wrench Detection preview by Segmentatation_v8_medium_train_250 wrench Detection preview by Segmentation_V11_large_300_train_300 wrench Detection preview by Segmentation_v8_large_300_train_300
Original Image: P04907.jpg
GT: pliers, wrench
pliers, wrench Detection preview by Box_v11_medium_train_SIXray_OPIXray No objects detected Detection preview by DN_Medium_300_yolov8m_20t7_new wrench Detection preview by Segmentatation_v8_medium_train_250 wrench Detection preview by Segmentation_V11_large_300_train_300 wrench Detection preview by Segmentation_v8_large_300_train_300
Original Image: P04908.jpg
GT: scissors
scissor Detection preview by Box_v11_medium_train_SIXray_OPIXray No objects detected Detection preview by DN_Medium_300_yolov8m_20t7_new scissor Detection preview by Segmentatation_v8_medium_train_250 scissor Detection preview by Segmentation_V11_large_300_train_300 scissor Detection preview by Segmentation_v8_large_300_train_300
Original Image: P04909.jpg
GT: scissors
scissor Detection preview by Box_v11_medium_train_SIXray_OPIXray No objects detected Detection preview by DN_Medium_300_yolov8m_20t7_new scissor Detection preview by Segmentatation_v8_medium_train_250 scissor Detection preview by Segmentation_V11_large_300_train_300 scissor Detection preview by Segmentation_v8_large_300_train_300
Original Image: P04910.jpg
GT: knife
knife Detection preview by Box_v11_medium_train_SIXray_OPIXray No objects detected Detection preview by DN_Medium_300_yolov8m_20t7_new scissor Detection preview by Segmentatation_v8_medium_train_250 scissor Detection preview by Segmentation_V11_large_300_train_300 scissor Detection preview by Segmentation_v8_large_300_train_300
Original Image: P04911.jpg
GT: scissors
scissor Detection preview by Box_v11_medium_train_SIXray_OPIXray No objects detected Detection preview by DN_Medium_300_yolov8m_20t7_new scissor Detection preview by Segmentatation_v8_medium_train_250 scissor Detection preview by Segmentation_V11_large_300_train_300 scissor Detection preview by Segmentation_v8_large_300_train_300
Original Image: P04912.jpg
GT: scissors
scissor Detection preview by Box_v11_medium_train_SIXray_OPIXray No objects detected Detection preview by DN_Medium_300_yolov8m_20t7_new scissor Detection preview by Segmentatation_v8_medium_train_250 scissor Detection preview by Segmentation_V11_large_300_train_300 scissor Detection preview by Segmentation_v8_large_300_train_300
Original Image: P04913.jpg
GT: scissors
scissor Detection preview by Box_v11_medium_train_SIXray_OPIXray No objects detected Detection preview by DN_Medium_300_yolov8m_20t7_new scissor Detection preview by Segmentatation_v8_medium_train_250 scissor Detection preview by Segmentation_V11_large_300_train_300 scissor Detection preview by Segmentation_v8_large_300_train_300
Original Image: P04914.jpg
GT: wrench
wrench Detection preview by Box_v11_medium_train_SIXray_OPIXray No objects detected Detection preview by DN_Medium_300_yolov8m_20t7_new wrench Detection preview by Segmentatation_v8_medium_train_250 wrench Detection preview by Segmentation_V11_large_300_train_300 wrench Detection preview by Segmentation_v8_large_300_train_300
Original Image: P04915.jpg
GT: wrench
wrench Detection preview by Box_v11_medium_train_SIXray_OPIXray No objects detected Detection preview by DN_Medium_300_yolov8m_20t7_new wrench Detection preview by Segmentatation_v8_medium_train_250 wrench Detection preview by Segmentation_V11_large_300_train_300 wrench Detection preview by Segmentation_v8_large_300_train_300
Original Image: P04916.jpg
GT: pliers, wrench
pliers, wrench Detection preview by Box_v11_medium_train_SIXray_OPIXray No objects detected Detection preview by DN_Medium_300_yolov8m_20t7_new wrench Detection preview by Segmentatation_v8_medium_train_250 wrench Detection preview by Segmentation_V11_large_300_train_300 wrench Detection preview by Segmentation_v8_large_300_train_300
Original Image: P04917.jpg
GT: wrench
wrench Detection preview by Box_v11_medium_train_SIXray_OPIXray No objects detected Detection preview by DN_Medium_300_yolov8m_20t7_new wrench Detection preview by Segmentatation_v8_medium_train_250 wrench Detection preview by Segmentation_V11_large_300_train_300 wrench Detection preview by Segmentation_v8_large_300_train_300
Original Image: P04918.jpg
GT: wrench
wrench Detection preview by Box_v11_medium_train_SIXray_OPIXray No objects detected Detection preview by DN_Medium_300_yolov8m_20t7_new wrench Detection preview by Segmentatation_v8_medium_train_250 wrench Detection preview by Segmentation_V11_large_300_train_300 wrench Detection preview by Segmentation_v8_large_300_train_300
Original Image: P04919.jpg
GT: wrench
wrench Detection preview by Box_v11_medium_train_SIXray_OPIXray No objects detected Detection preview by DN_Medium_300_yolov8m_20t7_new wrench Detection preview by Segmentatation_v8_medium_train_250 wrench Detection preview by Segmentation_V11_large_300_train_300 wrench Detection preview by Segmentation_v8_large_300_train_300
Original Image: P04920.jpg
GT: wrench
wrench Detection preview by Box_v11_medium_train_SIXray_OPIXray No objects detected Detection preview by DN_Medium_300_yolov8m_20t7_new wrench Detection preview by Segmentatation_v8_medium_train_250 wrench Detection preview by Segmentation_V11_large_300_train_300 wrench Detection preview by Segmentation_v8_large_300_train_300
Original Image: P04921.jpg
GT: pliers
pliers Detection preview by Box_v11_medium_train_SIXray_OPIXray No objects detected Detection preview by DN_Medium_300_yolov8m_20t7_new No objects detected Detection preview by Segmentatation_v8_medium_train_250 No objects detected Detection preview by Segmentation_V11_large_300_train_300 No objects detected Detection preview by Segmentation_v8_large_300_train_300
Original Image: P04922.jpg
GT: pliers, wrench
pliers, wrench Detection preview by Box_v11_medium_train_SIXray_OPIXray No objects detected Detection preview by DN_Medium_300_yolov8m_20t7_new wrench Detection preview by Segmentatation_v8_medium_train_250 wrench Detection preview by Segmentation_V11_large_300_train_300 wrench Detection preview by Segmentation_v8_large_300_train_300
Original Image: P04923.jpg
GT: pliers, wrench
pliers, wrench Detection preview by Box_v11_medium_train_SIXray_OPIXray No objects detected Detection preview by DN_Medium_300_yolov8m_20t7_new wrench Detection preview by Segmentatation_v8_medium_train_250 wrench Detection preview by Segmentation_V11_large_300_train_300 wrench Detection preview by Segmentation_v8_large_300_train_300
Original Image: P04924.jpg
GT: wrench
wrench Detection preview by Box_v11_medium_train_SIXray_OPIXray No objects detected Detection preview by DN_Medium_300_yolov8m_20t7_new wrench Detection preview by Segmentatation_v8_medium_train_250 wrench Detection preview by Segmentation_V11_large_300_train_300 wrench Detection preview by Segmentation_v8_large_300_train_300
Original Image: P04925.jpg
GT: wrench
wrench Detection preview by Box_v11_medium_train_SIXray_OPIXray No objects detected Detection preview by DN_Medium_300_yolov8m_20t7_new wrench Detection preview by Segmentatation_v8_medium_train_250 wrench Detection preview by Segmentation_V11_large_300_train_300 wrench Detection preview by Segmentation_v8_large_300_train_300
Original Image: P04926.jpg
GT: wrench
wrench Detection preview by Box_v11_medium_train_SIXray_OPIXray No objects detected Detection preview by DN_Medium_300_yolov8m_20t7_new wrench Detection preview by Segmentatation_v8_medium_train_250 wrench Detection preview by Segmentation_V11_large_300_train_300 wrench Detection preview by Segmentation_v8_large_300_train_300
Original Image: P04927.jpg
GT: pliers
pliers Detection preview by Box_v11_medium_train_SIXray_OPIXray No objects detected Detection preview by DN_Medium_300_yolov8m_20t7_new No objects detected Detection preview by Segmentatation_v8_medium_train_250 No objects detected Detection preview by Segmentation_V11_large_300_train_300 No objects detected Detection preview by Segmentation_v8_large_300_train_300
Original Image: P04928.jpg
GT: pliers, wrench
pliers, wrench Detection preview by Box_v11_medium_train_SIXray_OPIXray No objects detected Detection preview by DN_Medium_300_yolov8m_20t7_new wrench Detection preview by Segmentatation_v8_medium_train_250 No objects detected Detection preview by Segmentation_V11_large_300_train_300 No objects detected Detection preview by Segmentation_v8_large_300_train_300
Original Image: P04929.jpg
GT: pliers, wrench
pliers, wrench Detection preview by Box_v11_medium_train_SIXray_OPIXray No objects detected Detection preview by DN_Medium_300_yolov8m_20t7_new No objects detected Detection preview by Segmentatation_v8_medium_train_250 No objects detected Detection preview by Segmentation_V11_large_300_train_300 No objects detected Detection preview by Segmentation_v8_large_300_train_300
Original Image: P04930.jpg
GT: pliers
pliers Detection preview by Box_v11_medium_train_SIXray_OPIXray No objects detected Detection preview by DN_Medium_300_yolov8m_20t7_new No objects detected Detection preview by Segmentatation_v8_medium_train_250 No objects detected Detection preview by Segmentation_V11_large_300_train_300 No objects detected Detection preview by Segmentation_v8_large_300_train_300
Original Image: P04931.jpg
GT: pliers
pliers Detection preview by Box_v11_medium_train_SIXray_OPIXray No objects detected Detection preview by DN_Medium_300_yolov8m_20t7_new No objects detected Detection preview by Segmentatation_v8_medium_train_250 No objects detected Detection preview by Segmentation_V11_large_300_train_300 No objects detected Detection preview by Segmentation_v8_large_300_train_300
Original Image: P04932.jpg
GT: pliers
pliers Detection preview by Box_v11_medium_train_SIXray_OPIXray No objects detected Detection preview by DN_Medium_300_yolov8m_20t7_new No objects detected Detection preview by Segmentatation_v8_medium_train_250 No objects detected Detection preview by Segmentation_V11_large_300_train_300 No objects detected Detection preview by Segmentation_v8_large_300_train_300
Original Image: P04933.jpg
GT: pliers
pliers Detection preview by Box_v11_medium_train_SIXray_OPIXray No objects detected Detection preview by DN_Medium_300_yolov8m_20t7_new No objects detected Detection preview by Segmentatation_v8_medium_train_250 No objects detected Detection preview by Segmentation_V11_large_300_train_300 No objects detected Detection preview by Segmentation_v8_large_300_train_300
Original Image: P04934.jpg
GT: wrench
wrench Detection preview by Box_v11_medium_train_SIXray_OPIXray No objects detected Detection preview by DN_Medium_300_yolov8m_20t7_new wrench Detection preview by Segmentatation_v8_medium_train_250 wrench Detection preview by Segmentation_V11_large_300_train_300 wrench Detection preview by Segmentation_v8_large_300_train_300
Original Image: P04935.jpg
GT: wrench
wrench Detection preview by Box_v11_medium_train_SIXray_OPIXray No objects detected Detection preview by DN_Medium_300_yolov8m_20t7_new wrench Detection preview by Segmentatation_v8_medium_train_250 wrench Detection preview by Segmentation_V11_large_300_train_300 wrench Detection preview by Segmentation_v8_large_300_train_300
Original Image: P04936.jpg
GT: pliers, wrench
pliers, wrench Detection preview by Box_v11_medium_train_SIXray_OPIXray No objects detected Detection preview by DN_Medium_300_yolov8m_20t7_new No objects detected Detection preview by Segmentatation_v8_medium_train_250 wrench Detection preview by Segmentation_V11_large_300_train_300 wrench Detection preview by Segmentation_v8_large_300_train_300
Original Image: P04937.jpg
GT: pliers, wrench
pliers, wrench Detection preview by Box_v11_medium_train_SIXray_OPIXray No objects detected Detection preview by DN_Medium_300_yolov8m_20t7_new No objects detected Detection preview by Segmentatation_v8_medium_train_250 wrench Detection preview by Segmentation_V11_large_300_train_300 No objects detected Detection preview by Segmentation_v8_large_300_train_300
Original Image: P04938.jpg
GT: pliers, wrench
pliers, wrench Detection preview by Box_v11_medium_train_SIXray_OPIXray No objects detected Detection preview by DN_Medium_300_yolov8m_20t7_new wrench Detection preview by Segmentatation_v8_medium_train_250 wrench Detection preview by Segmentation_V11_large_300_train_300 No objects detected Detection preview by Segmentation_v8_large_300_train_300
Original Image: P04939.jpg
GT: pliers
pliers Detection preview by Box_v11_medium_train_SIXray_OPIXray No objects detected Detection preview by DN_Medium_300_yolov8m_20t7_new No objects detected Detection preview by Segmentatation_v8_medium_train_250 No objects detected Detection preview by Segmentation_V11_large_300_train_300 No objects detected Detection preview by Segmentation_v8_large_300_train_300
Original Image: P04940.jpg
GT: pliers
pliers Detection preview by Box_v11_medium_train_SIXray_OPIXray No objects detected Detection preview by DN_Medium_300_yolov8m_20t7_new No objects detected Detection preview by Segmentatation_v8_medium_train_250 No objects detected Detection preview by Segmentation_V11_large_300_train_300 No objects detected Detection preview by Segmentation_v8_large_300_train_300
Original Image: P04941.jpg
GT: pliers
pliers Detection preview by Box_v11_medium_train_SIXray_OPIXray No objects detected Detection preview by DN_Medium_300_yolov8m_20t7_new No objects detected Detection preview by Segmentatation_v8_medium_train_250 No objects detected Detection preview by Segmentation_V11_large_300_train_300 No objects detected Detection preview by Segmentation_v8_large_300_train_300
Original Image: P04942.jpg
GT: pliers
pliers Detection preview by Box_v11_medium_train_SIXray_OPIXray No objects detected Detection preview by DN_Medium_300_yolov8m_20t7_new No objects detected Detection preview by Segmentatation_v8_medium_train_250 No objects detected Detection preview by Segmentation_V11_large_300_train_300 No objects detected Detection preview by Segmentation_v8_large_300_train_300
Original Image: P04943.jpg
GT: pliers
pliers Detection preview by Box_v11_medium_train_SIXray_OPIXray No objects detected Detection preview by DN_Medium_300_yolov8m_20t7_new No objects detected Detection preview by Segmentatation_v8_medium_train_250 No objects detected Detection preview by Segmentation_V11_large_300_train_300 No objects detected Detection preview by Segmentation_v8_large_300_train_300
Original Image: P04944.jpg
GT: pliers
pliers Detection preview by Box_v11_medium_train_SIXray_OPIXray No objects detected Detection preview by DN_Medium_300_yolov8m_20t7_new No objects detected Detection preview by Segmentatation_v8_medium_train_250 No objects detected Detection preview by Segmentation_V11_large_300_train_300 No objects detected Detection preview by Segmentation_v8_large_300_train_300
Original Image: P04945.jpg
GT: pliers
pliers Detection preview by Box_v11_medium_train_SIXray_OPIXray pliers Detection preview by DN_Medium_300_yolov8m_20t7_new No objects detected Detection preview by Segmentatation_v8_medium_train_250 No objects detected Detection preview by Segmentation_V11_large_300_train_300 No objects detected Detection preview by Segmentation_v8_large_300_train_300
Original Image: P04946.jpg
GT: pliers
pliers Detection preview by Box_v11_medium_train_SIXray_OPIXray pliers Detection preview by DN_Medium_300_yolov8m_20t7_new No objects detected Detection preview by Segmentatation_v8_medium_train_250 No objects detected Detection preview by Segmentation_V11_large_300_train_300 No objects detected Detection preview by Segmentation_v8_large_300_train_300
Original Image: P04947.jpg
GT: pliers
pliers Detection preview by Box_v11_medium_train_SIXray_OPIXray pliers Detection preview by DN_Medium_300_yolov8m_20t7_new No objects detected Detection preview by Segmentatation_v8_medium_train_250 No objects detected Detection preview by Segmentation_V11_large_300_train_300 No objects detected Detection preview by Segmentation_v8_large_300_train_300
Original Image: P04948.jpg
GT: pliers
pliers Detection preview by Box_v11_medium_train_SIXray_OPIXray pliers Detection preview by DN_Medium_300_yolov8m_20t7_new No objects detected Detection preview by Segmentatation_v8_medium_train_250 No objects detected Detection preview by Segmentation_V11_large_300_train_300 No objects detected Detection preview by Segmentation_v8_large_300_train_300
Original Image: P04949.jpg
GT: pliers
pliers Detection preview by Box_v11_medium_train_SIXray_OPIXray pliers Detection preview by DN_Medium_300_yolov8m_20t7_new No objects detected Detection preview by Segmentatation_v8_medium_train_250 No objects detected Detection preview by Segmentation_V11_large_300_train_300 No objects detected Detection preview by Segmentation_v8_large_300_train_300
Original Image: P04950.jpg
GT: pliers
pliers Detection preview by Box_v11_medium_train_SIXray_OPIXray pliers Detection preview by DN_Medium_300_yolov8m_20t7_new No objects detected Detection preview by Segmentatation_v8_medium_train_250 No objects detected Detection preview by Segmentation_V11_large_300_train_300 No objects detected Detection preview by Segmentation_v8_large_300_train_300
Original Image: P04951.jpg
GT: wrench
wrench Detection preview by Box_v11_medium_train_SIXray_OPIXray No objects detected Detection preview by DN_Medium_300_yolov8m_20t7_new wrench Detection preview by Segmentatation_v8_medium_train_250 wrench Detection preview by Segmentation_V11_large_300_train_300 wrench Detection preview by Segmentation_v8_large_300_train_300
Original Image: P04952.jpg
GT: wrench
wrench Detection preview by Box_v11_medium_train_SIXray_OPIXray No objects detected Detection preview by DN_Medium_300_yolov8m_20t7_new wrench Detection preview by Segmentatation_v8_medium_train_250 wrench Detection preview by Segmentation_V11_large_300_train_300 wrench Detection preview by Segmentation_v8_large_300_train_300
Original Image: P04953.jpg
GT: pliers
pliers Detection preview by Box_v11_medium_train_SIXray_OPIXray No objects detected Detection preview by DN_Medium_300_yolov8m_20t7_new No objects detected Detection preview by Segmentatation_v8_medium_train_250 No objects detected Detection preview by Segmentation_V11_large_300_train_300 No objects detected Detection preview by Segmentation_v8_large_300_train_300
Original Image: P04954.jpg
GT: pliers
pliers Detection preview by Box_v11_medium_train_SIXray_OPIXray No objects detected Detection preview by DN_Medium_300_yolov8m_20t7_new No objects detected Detection preview by Segmentatation_v8_medium_train_250 No objects detected Detection preview by Segmentation_V11_large_300_train_300 No objects detected Detection preview by Segmentation_v8_large_300_train_300
Original Image: P04955.jpg
GT: scissors
scissor Detection preview by Box_v11_medium_train_SIXray_OPIXray No objects detected Detection preview by DN_Medium_300_yolov8m_20t7_new scissor Detection preview by Segmentatation_v8_medium_train_250 scissor Detection preview by Segmentation_V11_large_300_train_300 scissor Detection preview by Segmentation_v8_large_300_train_300
Original Image: P04956.jpg
GT: scissors
scissor Detection preview by Box_v11_medium_train_SIXray_OPIXray No objects detected Detection preview by DN_Medium_300_yolov8m_20t7_new scissor Detection preview by Segmentatation_v8_medium_train_250 scissor Detection preview by Segmentation_V11_large_300_train_300 scissor Detection preview by Segmentation_v8_large_300_train_300
Original Image: P04957.jpg
GT: wrench
wrench Detection preview by Box_v11_medium_train_SIXray_OPIXray No objects detected Detection preview by DN_Medium_300_yolov8m_20t7_new wrench Detection preview by Segmentatation_v8_medium_train_250 wrench Detection preview by Segmentation_V11_large_300_train_300 wrench Detection preview by Segmentation_v8_large_300_train_300
Original Image: P04958.jpg
GT: wrench
wrench Detection preview by Box_v11_medium_train_SIXray_OPIXray No objects detected Detection preview by DN_Medium_300_yolov8m_20t7_new wrench Detection preview by Segmentatation_v8_medium_train_250 wrench Detection preview by Segmentation_V11_large_300_train_300 wrench Detection preview by Segmentation_v8_large_300_train_300
Original Image: P04959.jpg
GT: pliers
pliers Detection preview by Box_v11_medium_train_SIXray_OPIXray pliers Detection preview by DN_Medium_300_yolov8m_20t7_new No objects detected Detection preview by Segmentatation_v8_medium_train_250 No objects detected Detection preview by Segmentation_V11_large_300_train_300 No objects detected Detection preview by Segmentation_v8_large_300_train_300
Original Image: P04960.jpg
GT: pliers
pliers Detection preview by Box_v11_medium_train_SIXray_OPIXray No objects detected Detection preview by DN_Medium_300_yolov8m_20t7_new No objects detected Detection preview by Segmentatation_v8_medium_train_250 No objects detected Detection preview by Segmentation_V11_large_300_train_300 No objects detected Detection preview by Segmentation_v8_large_300_train_300
Original Image: P04961.jpg
GT: pliers
pliers Detection preview by Box_v11_medium_train_SIXray_OPIXray pliers Detection preview by DN_Medium_300_yolov8m_20t7_new No objects detected Detection preview by Segmentatation_v8_medium_train_250 No objects detected Detection preview by Segmentation_V11_large_300_train_300 No objects detected Detection preview by Segmentation_v8_large_300_train_300
Original Image: P04962.jpg
GT: pliers
pliers Detection preview by Box_v11_medium_train_SIXray_OPIXray No objects detected Detection preview by DN_Medium_300_yolov8m_20t7_new No objects detected Detection preview by Segmentatation_v8_medium_train_250 No objects detected Detection preview by Segmentation_V11_large_300_train_300 No objects detected Detection preview by Segmentation_v8_large_300_train_300
Original Image: P04963.jpg
GT: pliers
pliers Detection preview by Box_v11_medium_train_SIXray_OPIXray No objects detected Detection preview by DN_Medium_300_yolov8m_20t7_new No objects detected Detection preview by Segmentatation_v8_medium_train_250 No objects detected Detection preview by Segmentation_V11_large_300_train_300 No objects detected Detection preview by Segmentation_v8_large_300_train_300
Original Image: P04964.jpg
GT: pliers
pliers Detection preview by Box_v11_medium_train_SIXray_OPIXray No objects detected Detection preview by DN_Medium_300_yolov8m_20t7_new No objects detected Detection preview by Segmentatation_v8_medium_train_250 No objects detected Detection preview by Segmentation_V11_large_300_train_300 No objects detected Detection preview by Segmentation_v8_large_300_train_300
Original Image: P04965.jpg
GT: pliers
pliers Detection preview by Box_v11_medium_train_SIXray_OPIXray No objects detected Detection preview by DN_Medium_300_yolov8m_20t7_new No objects detected Detection preview by Segmentatation_v8_medium_train_250 No objects detected Detection preview by Segmentation_V11_large_300_train_300 No objects detected Detection preview by Segmentation_v8_large_300_train_300
Original Image: P04966.jpg
GT: pliers
pliers Detection preview by Box_v11_medium_train_SIXray_OPIXray No objects detected Detection preview by DN_Medium_300_yolov8m_20t7_new No objects detected Detection preview by Segmentatation_v8_medium_train_250 No objects detected Detection preview by Segmentation_V11_large_300_train_300 No objects detected Detection preview by Segmentation_v8_large_300_train_300
Original Image: P04967.jpg
GT: pliers
pliers Detection preview by Box_v11_medium_train_SIXray_OPIXray No objects detected Detection preview by DN_Medium_300_yolov8m_20t7_new No objects detected Detection preview by Segmentatation_v8_medium_train_250 No objects detected Detection preview by Segmentation_V11_large_300_train_300 No objects detected Detection preview by Segmentation_v8_large_300_train_300
Original Image: P04968.jpg
GT: pliers
pliers Detection preview by Box_v11_medium_train_SIXray_OPIXray No objects detected Detection preview by DN_Medium_300_yolov8m_20t7_new No objects detected Detection preview by Segmentatation_v8_medium_train_250 No objects detected Detection preview by Segmentation_V11_large_300_train_300 No objects detected Detection preview by Segmentation_v8_large_300_train_300
Original Image: P04969.jpg
GT: pliers
pliers Detection preview by Box_v11_medium_train_SIXray_OPIXray No objects detected Detection preview by DN_Medium_300_yolov8m_20t7_new No objects detected Detection preview by Segmentatation_v8_medium_train_250 No objects detected Detection preview by Segmentation_V11_large_300_train_300 No objects detected Detection preview by Segmentation_v8_large_300_train_300
Original Image: P04970.jpg
GT: pliers
pliers Detection preview by Box_v11_medium_train_SIXray_OPIXray No objects detected Detection preview by DN_Medium_300_yolov8m_20t7_new No objects detected Detection preview by Segmentatation_v8_medium_train_250 No objects detected Detection preview by Segmentation_V11_large_300_train_300 No objects detected Detection preview by Segmentation_v8_large_300_train_300
Original Image: P04971.jpg
GT: pliers
pliers Detection preview by Box_v11_medium_train_SIXray_OPIXray pliers Detection preview by DN_Medium_300_yolov8m_20t7_new wrench Detection preview by Segmentatation_v8_medium_train_250 wrench Detection preview by Segmentation_V11_large_300_train_300 wrench Detection preview by Segmentation_v8_large_300_train_300
Original Image: P04972.jpg
GT: pliers
pliers Detection preview by Box_v11_medium_train_SIXray_OPIXray No objects detected Detection preview by DN_Medium_300_yolov8m_20t7_new No objects detected Detection preview by Segmentatation_v8_medium_train_250 No objects detected Detection preview by Segmentation_V11_large_300_train_300 No objects detected Detection preview by Segmentation_v8_large_300_train_300
Original Image: P04973.jpg
GT: pliers
pliers Detection preview by Box_v11_medium_train_SIXray_OPIXray No objects detected Detection preview by DN_Medium_300_yolov8m_20t7_new No objects detected Detection preview by Segmentatation_v8_medium_train_250 No objects detected Detection preview by Segmentation_V11_large_300_train_300 No objects detected Detection preview by Segmentation_v8_large_300_train_300
Original Image: P04974.jpg
GT: pliers
pliers Detection preview by Box_v11_medium_train_SIXray_OPIXray No objects detected Detection preview by DN_Medium_300_yolov8m_20t7_new No objects detected Detection preview by Segmentatation_v8_medium_train_250 No objects detected Detection preview by Segmentation_V11_large_300_train_300 No objects detected Detection preview by Segmentation_v8_large_300_train_300
Original Image: P04975.jpg
GT: pliers
pliers Detection preview by Box_v11_medium_train_SIXray_OPIXray No objects detected Detection preview by DN_Medium_300_yolov8m_20t7_new No objects detected Detection preview by Segmentatation_v8_medium_train_250 No objects detected Detection preview by Segmentation_V11_large_300_train_300 No objects detected Detection preview by Segmentation_v8_large_300_train_300
Original Image: P04976.jpg
GT: pliers, wrench
pliers, wrench Detection preview by Box_v11_medium_train_SIXray_OPIXray No objects detected Detection preview by DN_Medium_300_yolov8m_20t7_new wrench Detection preview by Segmentatation_v8_medium_train_250 wrench Detection preview by Segmentation_V11_large_300_train_300 wrench Detection preview by Segmentation_v8_large_300_train_300
Original Image: P04977.jpg
GT: pliers, wrench
pliers, wrench Detection preview by Box_v11_medium_train_SIXray_OPIXray No objects detected Detection preview by DN_Medium_300_yolov8m_20t7_new wrench Detection preview by Segmentatation_v8_medium_train_250 wrench Detection preview by Segmentation_V11_large_300_train_300 wrench Detection preview by Segmentation_v8_large_300_train_300
Original Image: P04978.jpg
GT: knife
knife Detection preview by Box_v11_medium_train_SIXray_OPIXray No objects detected Detection preview by DN_Medium_300_yolov8m_20t7_new knife, scissor Detection preview by Segmentatation_v8_medium_train_250 knife Detection preview by Segmentation_V11_large_300_train_300 knife Detection preview by Segmentation_v8_large_300_train_300
Original Image: P04979.jpg
GT: pliers, scissors
pliers, scissor Detection preview by Box_v11_medium_train_SIXray_OPIXray pliers Detection preview by DN_Medium_300_yolov8m_20t7_new scissor Detection preview by Segmentatation_v8_medium_train_250 scissor Detection preview by Segmentation_V11_large_300_train_300 scissor Detection preview by Segmentation_v8_large_300_train_300
Original Image: P04980.jpg
GT: pliers, scissors
pliers, scissor Detection preview by Box_v11_medium_train_SIXray_OPIXray pliers Detection preview by DN_Medium_300_yolov8m_20t7_new scissor Detection preview by Segmentatation_v8_medium_train_250 scissor Detection preview by Segmentation_V11_large_300_train_300 scissor Detection preview by Segmentation_v8_large_300_train_300
Original Image: P04981.jpg
GT: pliers
pliers Detection preview by Box_v11_medium_train_SIXray_OPIXray pliers Detection preview by DN_Medium_300_yolov8m_20t7_new No objects detected Detection preview by Segmentatation_v8_medium_train_250 No objects detected Detection preview by Segmentation_V11_large_300_train_300 No objects detected Detection preview by Segmentation_v8_large_300_train_300
Original Image: P04982.jpg
GT: pliers
pliers Detection preview by Box_v11_medium_train_SIXray_OPIXray pliers Detection preview by DN_Medium_300_yolov8m_20t7_new No objects detected Detection preview by Segmentatation_v8_medium_train_250 No objects detected Detection preview by Segmentation_V11_large_300_train_300 No objects detected Detection preview by Segmentation_v8_large_300_train_300
Original Image: P04983.jpg
GT: pliers
pliers Detection preview by Box_v11_medium_train_SIXray_OPIXray pliers Detection preview by DN_Medium_300_yolov8m_20t7_new No objects detected Detection preview by Segmentatation_v8_medium_train_250 No objects detected Detection preview by Segmentation_V11_large_300_train_300 No objects detected Detection preview by Segmentation_v8_large_300_train_300
Original Image: P04984.jpg
GT: pliers
pliers Detection preview by Box_v11_medium_train_SIXray_OPIXray pliers Detection preview by DN_Medium_300_yolov8m_20t7_new No objects detected Detection preview by Segmentatation_v8_medium_train_250 No objects detected Detection preview by Segmentation_V11_large_300_train_300 No objects detected Detection preview by Segmentation_v8_large_300_train_300
Original Image: P04985.jpg
GT: pliers
pliers Detection preview by Box_v11_medium_train_SIXray_OPIXray pliers Detection preview by DN_Medium_300_yolov8m_20t7_new No objects detected Detection preview by Segmentatation_v8_medium_train_250 No objects detected Detection preview by Segmentation_V11_large_300_train_300 No objects detected Detection preview by Segmentation_v8_large_300_train_300
Original Image: P04986.jpg
GT: pliers, wrench
pliers, wrench Detection preview by Box_v11_medium_train_SIXray_OPIXray No objects detected Detection preview by DN_Medium_300_yolov8m_20t7_new wrench Detection preview by Segmentatation_v8_medium_train_250 wrench Detection preview by Segmentation_V11_large_300_train_300 wrench Detection preview by Segmentation_v8_large_300_train_300
Original Image: P04987.jpg
GT: pliers
pliers Detection preview by Box_v11_medium_train_SIXray_OPIXray No objects detected Detection preview by DN_Medium_300_yolov8m_20t7_new No objects detected Detection preview by Segmentatation_v8_medium_train_250 No objects detected Detection preview by Segmentation_V11_large_300_train_300 No objects detected Detection preview by Segmentation_v8_large_300_train_300
Original Image: P04988.jpg
GT: pliers
pliers Detection preview by Box_v11_medium_train_SIXray_OPIXray No objects detected Detection preview by DN_Medium_300_yolov8m_20t7_new No objects detected Detection preview by Segmentatation_v8_medium_train_250 No objects detected Detection preview by Segmentation_V11_large_300_train_300 No objects detected Detection preview by Segmentation_v8_large_300_train_300
Original Image: P04989.jpg
GT: pliers
pliers Detection preview by Box_v11_medium_train_SIXray_OPIXray No objects detected Detection preview by DN_Medium_300_yolov8m_20t7_new No objects detected Detection preview by Segmentatation_v8_medium_train_250 No objects detected Detection preview by Segmentation_V11_large_300_train_300 No objects detected Detection preview by Segmentation_v8_large_300_train_300
Original Image: P04990.jpg
GT: pliers
pliers Detection preview by Box_v11_medium_train_SIXray_OPIXray No objects detected Detection preview by DN_Medium_300_yolov8m_20t7_new No objects detected Detection preview by Segmentatation_v8_medium_train_250 No objects detected Detection preview by Segmentation_V11_large_300_train_300 No objects detected Detection preview by Segmentation_v8_large_300_train_300
Original Image: P04991.jpg
GT: pliers
pliers Detection preview by Box_v11_medium_train_SIXray_OPIXray No objects detected Detection preview by DN_Medium_300_yolov8m_20t7_new No objects detected Detection preview by Segmentatation_v8_medium_train_250 No objects detected Detection preview by Segmentation_V11_large_300_train_300 No objects detected Detection preview by Segmentation_v8_large_300_train_300
Original Image: P04992.jpg
GT: pliers
pliers Detection preview by Box_v11_medium_train_SIXray_OPIXray No objects detected Detection preview by DN_Medium_300_yolov8m_20t7_new No objects detected Detection preview by Segmentatation_v8_medium_train_250 No objects detected Detection preview by Segmentation_V11_large_300_train_300 No objects detected Detection preview by Segmentation_v8_large_300_train_300
Original Image: P04993.jpg
GT: pliers
pliers Detection preview by Box_v11_medium_train_SIXray_OPIXray No objects detected Detection preview by DN_Medium_300_yolov8m_20t7_new No objects detected Detection preview by Segmentatation_v8_medium_train_250 No objects detected Detection preview by Segmentation_V11_large_300_train_300 No objects detected Detection preview by Segmentation_v8_large_300_train_300
Original Image: P04994.jpg
GT: pliers
pliers Detection preview by Box_v11_medium_train_SIXray_OPIXray No objects detected Detection preview by DN_Medium_300_yolov8m_20t7_new No objects detected Detection preview by Segmentatation_v8_medium_train_250 No objects detected Detection preview by Segmentation_V11_large_300_train_300 No objects detected Detection preview by Segmentation_v8_large_300_train_300
Original Image: P04995.jpg
GT: pliers
pliers Detection preview by Box_v11_medium_train_SIXray_OPIXray No objects detected Detection preview by DN_Medium_300_yolov8m_20t7_new No objects detected Detection preview by Segmentatation_v8_medium_train_250 No objects detected Detection preview by Segmentation_V11_large_300_train_300 No objects detected Detection preview by Segmentation_v8_large_300_train_300
Original Image: P04996.jpg
GT: pliers
pliers Detection preview by Box_v11_medium_train_SIXray_OPIXray No objects detected Detection preview by DN_Medium_300_yolov8m_20t7_new No objects detected Detection preview by Segmentatation_v8_medium_train_250 No objects detected Detection preview by Segmentation_V11_large_300_train_300 No objects detected Detection preview by Segmentation_v8_large_300_train_300
Original Image: P04997.jpg
GT: pliers
pliers Detection preview by Box_v11_medium_train_SIXray_OPIXray pliers Detection preview by DN_Medium_300_yolov8m_20t7_new No objects detected Detection preview by Segmentatation_v8_medium_train_250 No objects detected Detection preview by Segmentation_V11_large_300_train_300 No objects detected Detection preview by Segmentation_v8_large_300_train_300
Original Image: P04998.jpg
GT: pliers
pliers Detection preview by Box_v11_medium_train_SIXray_OPIXray No objects detected Detection preview by DN_Medium_300_yolov8m_20t7_new No objects detected Detection preview by Segmentatation_v8_medium_train_250 No objects detected Detection preview by Segmentation_V11_large_300_train_300 No objects detected Detection preview by Segmentation_v8_large_300_train_300
Original Image: P04999.jpg
GT: knife
knife Detection preview by Box_v11_medium_train_SIXray_OPIXray No objects detected Detection preview by DN_Medium_300_yolov8m_20t7_new scissor Detection preview by Segmentatation_v8_medium_train_250 scissor Detection preview by Segmentation_V11_large_300_train_300 scissor Detection preview by Segmentation_v8_large_300_train_300
Original Image: P05000.jpg
GT: knife
knife Detection preview by Box_v11_medium_train_SIXray_OPIXray No objects detected Detection preview by DN_Medium_300_yolov8m_20t7_new scissor Detection preview by Segmentatation_v8_medium_train_250 scissor Detection preview by Segmentation_V11_large_300_train_300 scissor Detection preview by Segmentation_v8_large_300_train_300
Original Image: P05001.jpg
GT: pliers
pliers Detection preview by Box_v11_medium_train_SIXray_OPIXray No objects detected Detection preview by DN_Medium_300_yolov8m_20t7_new No objects detected Detection preview by Segmentatation_v8_medium_train_250 No objects detected Detection preview by Segmentation_V11_large_300_train_300 No objects detected Detection preview by Segmentation_v8_large_300_train_300
Original Image: P05002.jpg
GT: pliers
pliers Detection preview by Box_v11_medium_train_SIXray_OPIXray pliers Detection preview by DN_Medium_300_yolov8m_20t7_new No objects detected Detection preview by Segmentatation_v8_medium_train_250 No objects detected Detection preview by Segmentation_V11_large_300_train_300 No objects detected Detection preview by Segmentation_v8_large_300_train_300
Original Image: P05003.jpg
GT: pliers, wrench
pliers, wrench Detection preview by Box_v11_medium_train_SIXray_OPIXray No objects detected Detection preview by DN_Medium_300_yolov8m_20t7_new wrench Detection preview by Segmentatation_v8_medium_train_250 wrench Detection preview by Segmentation_V11_large_300_train_300 wrench Detection preview by Segmentation_v8_large_300_train_300
Original Image: P05004.jpg
GT: pliers, wrench
pliers, wrench Detection preview by Box_v11_medium_train_SIXray_OPIXray No objects detected Detection preview by DN_Medium_300_yolov8m_20t7_new wrench Detection preview by Segmentatation_v8_medium_train_250 wrench Detection preview by Segmentation_V11_large_300_train_300 wrench Detection preview by Segmentation_v8_large_300_train_300
Original Image: P05005.jpg
GT: pliers, wrench
pliers, wrench Detection preview by Box_v11_medium_train_SIXray_OPIXray No objects detected Detection preview by DN_Medium_300_yolov8m_20t7_new wrench Detection preview by Segmentatation_v8_medium_train_250 wrench Detection preview by Segmentation_V11_large_300_train_300 wrench Detection preview by Segmentation_v8_large_300_train_300
Original Image: P05006.jpg
GT: pliers
pliers Detection preview by Box_v11_medium_train_SIXray_OPIXray No objects detected Detection preview by DN_Medium_300_yolov8m_20t7_new No objects detected Detection preview by Segmentatation_v8_medium_train_250 No objects detected Detection preview by Segmentation_V11_large_300_train_300 No objects detected Detection preview by Segmentation_v8_large_300_train_300
Original Image: P05007.jpg
GT: pliers
pliers Detection preview by Box_v11_medium_train_SIXray_OPIXray No objects detected Detection preview by DN_Medium_300_yolov8m_20t7_new No objects detected Detection preview by Segmentatation_v8_medium_train_250 No objects detected Detection preview by Segmentation_V11_large_300_train_300 No objects detected Detection preview by Segmentation_v8_large_300_train_300
Original Image: P05008.jpg
GT: pliers
pliers Detection preview by Box_v11_medium_train_SIXray_OPIXray No objects detected Detection preview by DN_Medium_300_yolov8m_20t7_new No objects detected Detection preview by Segmentatation_v8_medium_train_250 No objects detected Detection preview by Segmentation_V11_large_300_train_300 No objects detected Detection preview by Segmentation_v8_large_300_train_300
Original Image: P05009.jpg
GT: pliers
pliers Detection preview by Box_v11_medium_train_SIXray_OPIXray No objects detected Detection preview by DN_Medium_300_yolov8m_20t7_new No objects detected Detection preview by Segmentatation_v8_medium_train_250 No objects detected Detection preview by Segmentation_V11_large_300_train_300 No objects detected Detection preview by Segmentation_v8_large_300_train_300
Original Image: P05010.jpg
GT: pliers
pliers Detection preview by Box_v11_medium_train_SIXray_OPIXray No objects detected Detection preview by DN_Medium_300_yolov8m_20t7_new No objects detected Detection preview by Segmentatation_v8_medium_train_250 No objects detected Detection preview by Segmentation_V11_large_300_train_300 No objects detected Detection preview by Segmentation_v8_large_300_train_300
Original Image: P05011.jpg
GT: scissors
scissor Detection preview by Box_v11_medium_train_SIXray_OPIXray scissor Detection preview by DN_Medium_300_yolov8m_20t7_new scissor Detection preview by Segmentatation_v8_medium_train_250 scissor Detection preview by Segmentation_V11_large_300_train_300 scissor Detection preview by Segmentation_v8_large_300_train_300
Original Image: P05012.jpg
GT: scissors
scissor Detection preview by Box_v11_medium_train_SIXray_OPIXray scissor Detection preview by DN_Medium_300_yolov8m_20t7_new scissor Detection preview by Segmentatation_v8_medium_train_250 scissor Detection preview by Segmentation_V11_large_300_train_300 scissor Detection preview by Segmentation_v8_large_300_train_300
Original Image: P05013.jpg
GT: pliers
pliers Detection preview by Box_v11_medium_train_SIXray_OPIXray No objects detected Detection preview by DN_Medium_300_yolov8m_20t7_new No objects detected Detection preview by Segmentatation_v8_medium_train_250 No objects detected Detection preview by Segmentation_V11_large_300_train_300 No objects detected Detection preview by Segmentation_v8_large_300_train_300
Original Image: P05014.jpg
GT: wrench
wrench Detection preview by Box_v11_medium_train_SIXray_OPIXray No objects detected Detection preview by DN_Medium_300_yolov8m_20t7_new wrench Detection preview by Segmentatation_v8_medium_train_250 wrench Detection preview by Segmentation_V11_large_300_train_300 wrench Detection preview by Segmentation_v8_large_300_train_300
Original Image: P05015.jpg
GT: wrench
wrench Detection preview by Box_v11_medium_train_SIXray_OPIXray No objects detected Detection preview by DN_Medium_300_yolov8m_20t7_new wrench Detection preview by Segmentatation_v8_medium_train_250 wrench Detection preview by Segmentation_V11_large_300_train_300 wrench Detection preview by Segmentation_v8_large_300_train_300
Original Image: P05016.jpg
GT: wrench
wrench Detection preview by Box_v11_medium_train_SIXray_OPIXray No objects detected Detection preview by DN_Medium_300_yolov8m_20t7_new wrench Detection preview by Segmentatation_v8_medium_train_250 wrench Detection preview by Segmentation_V11_large_300_train_300 wrench Detection preview by Segmentation_v8_large_300_train_300
Original Image: P05017.jpg
GT: wrench
wrench Detection preview by Box_v11_medium_train_SIXray_OPIXray No objects detected Detection preview by DN_Medium_300_yolov8m_20t7_new wrench Detection preview by Segmentatation_v8_medium_train_250 wrench Detection preview by Segmentation_V11_large_300_train_300 wrench Detection preview by Segmentation_v8_large_300_train_300
Original Image: P05018.jpg
GT: wrench
wrench Detection preview by Box_v11_medium_train_SIXray_OPIXray No objects detected Detection preview by DN_Medium_300_yolov8m_20t7_new wrench Detection preview by Segmentatation_v8_medium_train_250 wrench Detection preview by Segmentation_V11_large_300_train_300 wrench Detection preview by Segmentation_v8_large_300_train_300
Original Image: P05019.jpg
GT: knife
knife Detection preview by Box_v11_medium_train_SIXray_OPIXray No objects detected Detection preview by DN_Medium_300_yolov8m_20t7_new knife Detection preview by Segmentatation_v8_medium_train_250 knife Detection preview by Segmentation_V11_large_300_train_300 knife Detection preview by Segmentation_v8_large_300_train_300
Original Image: P05020.jpg
GT: pliers, wrench
pliers, wrench Detection preview by Box_v11_medium_train_SIXray_OPIXray No objects detected Detection preview by DN_Medium_300_yolov8m_20t7_new wrench Detection preview by Segmentatation_v8_medium_train_250 wrench Detection preview by Segmentation_V11_large_300_train_300 wrench Detection preview by Segmentation_v8_large_300_train_300
Original Image: P05021.jpg
GT: pliers
pliers Detection preview by Box_v11_medium_train_SIXray_OPIXray No objects detected Detection preview by DN_Medium_300_yolov8m_20t7_new No objects detected Detection preview by Segmentatation_v8_medium_train_250 No objects detected Detection preview by Segmentation_V11_large_300_train_300 No objects detected Detection preview by Segmentation_v8_large_300_train_300
Original Image: P05022.jpg
GT: pliers
pliers Detection preview by Box_v11_medium_train_SIXray_OPIXray No objects detected Detection preview by DN_Medium_300_yolov8m_20t7_new No objects detected Detection preview by Segmentatation_v8_medium_train_250 No objects detected Detection preview by Segmentation_V11_large_300_train_300 No objects detected Detection preview by Segmentation_v8_large_300_train_300
Original Image: P05023.jpg
GT: pliers
pliers Detection preview by Box_v11_medium_train_SIXray_OPIXray No objects detected Detection preview by DN_Medium_300_yolov8m_20t7_new No objects detected Detection preview by Segmentatation_v8_medium_train_250 No objects detected Detection preview by Segmentation_V11_large_300_train_300 No objects detected Detection preview by Segmentation_v8_large_300_train_300
Original Image: P05024.jpg
GT: pliers
pliers Detection preview by Box_v11_medium_train_SIXray_OPIXray No objects detected Detection preview by DN_Medium_300_yolov8m_20t7_new No objects detected Detection preview by Segmentatation_v8_medium_train_250 No objects detected Detection preview by Segmentation_V11_large_300_train_300 No objects detected Detection preview by Segmentation_v8_large_300_train_300
Original Image: P05025.jpg
GT: scissors
scissor Detection preview by Box_v11_medium_train_SIXray_OPIXray No objects detected Detection preview by DN_Medium_300_yolov8m_20t7_new scissor Detection preview by Segmentatation_v8_medium_train_250 scissor Detection preview by Segmentation_V11_large_300_train_300 scissor Detection preview by Segmentation_v8_large_300_train_300
Original Image: P05026.jpg
GT: scissors
scissor Detection preview by Box_v11_medium_train_SIXray_OPIXray No objects detected Detection preview by DN_Medium_300_yolov8m_20t7_new scissor Detection preview by Segmentatation_v8_medium_train_250 scissor Detection preview by Segmentation_V11_large_300_train_300 scissor Detection preview by Segmentation_v8_large_300_train_300
Original Image: P05027.jpg
GT: scissors
scissor Detection preview by Box_v11_medium_train_SIXray_OPIXray No objects detected Detection preview by DN_Medium_300_yolov8m_20t7_new scissor Detection preview by Segmentatation_v8_medium_train_250 scissor Detection preview by Segmentation_V11_large_300_train_300 scissor Detection preview by Segmentation_v8_large_300_train_300
Original Image: P05028.jpg
GT: scissors
scissor Detection preview by Box_v11_medium_train_SIXray_OPIXray No objects detected Detection preview by DN_Medium_300_yolov8m_20t7_new scissor Detection preview by Segmentatation_v8_medium_train_250 scissor Detection preview by Segmentation_V11_large_300_train_300 scissor Detection preview by Segmentation_v8_large_300_train_300
Original Image: P05029.jpg
GT: pliers
pliers Detection preview by Box_v11_medium_train_SIXray_OPIXray No objects detected Detection preview by DN_Medium_300_yolov8m_20t7_new No objects detected Detection preview by Segmentatation_v8_medium_train_250 No objects detected Detection preview by Segmentation_V11_large_300_train_300 No objects detected Detection preview by Segmentation_v8_large_300_train_300
Original Image: P05030.jpg
GT: pliers
pliers Detection preview by Box_v11_medium_train_SIXray_OPIXray No objects detected Detection preview by DN_Medium_300_yolov8m_20t7_new No objects detected Detection preview by Segmentatation_v8_medium_train_250 No objects detected Detection preview by Segmentation_V11_large_300_train_300 No objects detected Detection preview by Segmentation_v8_large_300_train_300
Original Image: P05031.jpg
GT: pliers, wrench
pliers, wrench Detection preview by Box_v11_medium_train_SIXray_OPIXray No objects detected Detection preview by DN_Medium_300_yolov8m_20t7_new wrench Detection preview by Segmentatation_v8_medium_train_250 wrench Detection preview by Segmentation_V11_large_300_train_300 wrench Detection preview by Segmentation_v8_large_300_train_300
Original Image: P05032.jpg
GT: pliers, wrench
pliers, wrench Detection preview by Box_v11_medium_train_SIXray_OPIXray No objects detected Detection preview by DN_Medium_300_yolov8m_20t7_new wrench Detection preview by Segmentatation_v8_medium_train_250 wrench Detection preview by Segmentation_V11_large_300_train_300 wrench Detection preview by Segmentation_v8_large_300_train_300
Original Image: P05033.jpg
GT: pliers, wrench
pliers, wrench Detection preview by Box_v11_medium_train_SIXray_OPIXray No objects detected Detection preview by DN_Medium_300_yolov8m_20t7_new wrench Detection preview by Segmentatation_v8_medium_train_250 wrench Detection preview by Segmentation_V11_large_300_train_300 wrench Detection preview by Segmentation_v8_large_300_train_300
Original Image: P05034.jpg
GT: pliers, wrench
pliers, wrench Detection preview by Box_v11_medium_train_SIXray_OPIXray No objects detected Detection preview by DN_Medium_300_yolov8m_20t7_new wrench Detection preview by Segmentatation_v8_medium_train_250 wrench Detection preview by Segmentation_V11_large_300_train_300 wrench Detection preview by Segmentation_v8_large_300_train_300
Original Image: P05035.jpg
GT: wrench
wrench Detection preview by Box_v11_medium_train_SIXray_OPIXray No objects detected Detection preview by DN_Medium_300_yolov8m_20t7_new wrench Detection preview by Segmentatation_v8_medium_train_250 wrench Detection preview by Segmentation_V11_large_300_train_300 wrench Detection preview by Segmentation_v8_large_300_train_300
Original Image: P05036.jpg
GT: wrench
wrench Detection preview by Box_v11_medium_train_SIXray_OPIXray No objects detected Detection preview by DN_Medium_300_yolov8m_20t7_new wrench Detection preview by Segmentatation_v8_medium_train_250 wrench Detection preview by Segmentation_V11_large_300_train_300 wrench Detection preview by Segmentation_v8_large_300_train_300
Original Image: P05037.jpg
GT: scissors
scissor Detection preview by Box_v11_medium_train_SIXray_OPIXray No objects detected Detection preview by DN_Medium_300_yolov8m_20t7_new scissor Detection preview by Segmentatation_v8_medium_train_250 scissor Detection preview by Segmentation_V11_large_300_train_300 scissor Detection preview by Segmentation_v8_large_300_train_300
Original Image: P05038.jpg
GT: pliers, wrench
pliers, wrench Detection preview by Box_v11_medium_train_SIXray_OPIXray pliers Detection preview by DN_Medium_300_yolov8m_20t7_new wrench Detection preview by Segmentatation_v8_medium_train_250 wrench Detection preview by Segmentation_V11_large_300_train_300 wrench Detection preview by Segmentation_v8_large_300_train_300
Original Image: P05039.jpg
GT: pliers, wrench
pliers, wrench Detection preview by Box_v11_medium_train_SIXray_OPIXray pliers Detection preview by DN_Medium_300_yolov8m_20t7_new wrench Detection preview by Segmentatation_v8_medium_train_250 wrench Detection preview by Segmentation_V11_large_300_train_300 wrench Detection preview by Segmentation_v8_large_300_train_300
Original Image: P05040.jpg
GT: pliers, wrench
pliers, wrench Detection preview by Box_v11_medium_train_SIXray_OPIXray pliers Detection preview by DN_Medium_300_yolov8m_20t7_new wrench Detection preview by Segmentatation_v8_medium_train_250 wrench Detection preview by Segmentation_V11_large_300_train_300 wrench Detection preview by Segmentation_v8_large_300_train_300
Original Image: P05041.jpg
GT: pliers
pliers Detection preview by Box_v11_medium_train_SIXray_OPIXray No objects detected Detection preview by DN_Medium_300_yolov8m_20t7_new No objects detected Detection preview by Segmentatation_v8_medium_train_250 No objects detected Detection preview by Segmentation_V11_large_300_train_300 No objects detected Detection preview by Segmentation_v8_large_300_train_300
Original Image: P05042.jpg
GT: pliers
pliers Detection preview by Box_v11_medium_train_SIXray_OPIXray No objects detected Detection preview by DN_Medium_300_yolov8m_20t7_new No objects detected Detection preview by Segmentatation_v8_medium_train_250 No objects detected Detection preview by Segmentation_V11_large_300_train_300 No objects detected Detection preview by Segmentation_v8_large_300_train_300
Original Image: P05043.jpg
GT: pliers
pliers Detection preview by Box_v11_medium_train_SIXray_OPIXray No objects detected Detection preview by DN_Medium_300_yolov8m_20t7_new No objects detected Detection preview by Segmentatation_v8_medium_train_250 No objects detected Detection preview by Segmentation_V11_large_300_train_300 No objects detected Detection preview by Segmentation_v8_large_300_train_300
Original Image: P05044.jpg
GT: pliers, wrench
pliers, wrench Detection preview by Box_v11_medium_train_SIXray_OPIXray No objects detected Detection preview by DN_Medium_300_yolov8m_20t7_new No objects detected Detection preview by Segmentatation_v8_medium_train_250 wrench Detection preview by Segmentation_V11_large_300_train_300 wrench Detection preview by Segmentation_v8_large_300_train_300
Original Image: P05045.jpg
GT: pliers, wrench
pliers, wrench Detection preview by Box_v11_medium_train_SIXray_OPIXray No objects detected Detection preview by DN_Medium_300_yolov8m_20t7_new wrench Detection preview by Segmentatation_v8_medium_train_250 wrench Detection preview by Segmentation_V11_large_300_train_300 wrench Detection preview by Segmentation_v8_large_300_train_300
Original Image: P05046.jpg
GT: wrench
wrench Detection preview by Box_v11_medium_train_SIXray_OPIXray No objects detected Detection preview by DN_Medium_300_yolov8m_20t7_new wrench Detection preview by Segmentatation_v8_medium_train_250 wrench Detection preview by Segmentation_V11_large_300_train_300 wrench Detection preview by Segmentation_v8_large_300_train_300
Original Image: P05047.jpg
GT: wrench
wrench Detection preview by Box_v11_medium_train_SIXray_OPIXray No objects detected Detection preview by DN_Medium_300_yolov8m_20t7_new wrench Detection preview by Segmentatation_v8_medium_train_250 wrench Detection preview by Segmentation_V11_large_300_train_300 wrench Detection preview by Segmentation_v8_large_300_train_300
Original Image: P05048.jpg
GT: scissors
scissor Detection preview by Box_v11_medium_train_SIXray_OPIXray scissor Detection preview by DN_Medium_300_yolov8m_20t7_new scissor Detection preview by Segmentatation_v8_medium_train_250 scissor Detection preview by Segmentation_V11_large_300_train_300 scissor Detection preview by Segmentation_v8_large_300_train_300
Original Image: P05049.jpg
GT: pliers
pliers Detection preview by Box_v11_medium_train_SIXray_OPIXray No objects detected Detection preview by DN_Medium_300_yolov8m_20t7_new No objects detected Detection preview by Segmentatation_v8_medium_train_250 No objects detected Detection preview by Segmentation_V11_large_300_train_300 No objects detected Detection preview by Segmentation_v8_large_300_train_300
Original Image: P05050.jpg
GT: pliers
pliers Detection preview by Box_v11_medium_train_SIXray_OPIXray No objects detected Detection preview by DN_Medium_300_yolov8m_20t7_new No objects detected Detection preview by Segmentatation_v8_medium_train_250 No objects detected Detection preview by Segmentation_V11_large_300_train_300 No objects detected Detection preview by Segmentation_v8_large_300_train_300
Original Image: P05051.jpg
GT: pliers
pliers Detection preview by Box_v11_medium_train_SIXray_OPIXray No objects detected Detection preview by DN_Medium_300_yolov8m_20t7_new No objects detected Detection preview by Segmentatation_v8_medium_train_250 No objects detected Detection preview by Segmentation_V11_large_300_train_300 No objects detected Detection preview by Segmentation_v8_large_300_train_300
Original Image: P05052.jpg
GT: wrench
wrench Detection preview by Box_v11_medium_train_SIXray_OPIXray No objects detected Detection preview by DN_Medium_300_yolov8m_20t7_new wrench Detection preview by Segmentatation_v8_medium_train_250 wrench Detection preview by Segmentation_V11_large_300_train_300 wrench Detection preview by Segmentation_v8_large_300_train_300
Original Image: P05053.jpg
GT: wrench
wrench Detection preview by Box_v11_medium_train_SIXray_OPIXray No objects detected Detection preview by DN_Medium_300_yolov8m_20t7_new wrench Detection preview by Segmentatation_v8_medium_train_250 wrench Detection preview by Segmentation_V11_large_300_train_300 wrench Detection preview by Segmentation_v8_large_300_train_300
Original Image: P05054.jpg
GT: wrench
wrench Detection preview by Box_v11_medium_train_SIXray_OPIXray No objects detected Detection preview by DN_Medium_300_yolov8m_20t7_new wrench Detection preview by Segmentatation_v8_medium_train_250 wrench Detection preview by Segmentation_V11_large_300_train_300 wrench Detection preview by Segmentation_v8_large_300_train_300
Original Image: P05055.jpg
GT: pliers
pliers Detection preview by Box_v11_medium_train_SIXray_OPIXray No objects detected Detection preview by DN_Medium_300_yolov8m_20t7_new No objects detected Detection preview by Segmentatation_v8_medium_train_250 No objects detected Detection preview by Segmentation_V11_large_300_train_300 No objects detected Detection preview by Segmentation_v8_large_300_train_300
Original Image: P05056.jpg
GT: pliers
pliers Detection preview by Box_v11_medium_train_SIXray_OPIXray No objects detected Detection preview by DN_Medium_300_yolov8m_20t7_new No objects detected Detection preview by Segmentatation_v8_medium_train_250 wrench Detection preview by Segmentation_V11_large_300_train_300 No objects detected Detection preview by Segmentation_v8_large_300_train_300
Original Image: P05057.jpg
GT: pliers
pliers Detection preview by Box_v11_medium_train_SIXray_OPIXray No objects detected Detection preview by DN_Medium_300_yolov8m_20t7_new No objects detected Detection preview by Segmentatation_v8_medium_train_250 No objects detected Detection preview by Segmentation_V11_large_300_train_300 No objects detected Detection preview by Segmentation_v8_large_300_train_300
Original Image: P05058.jpg
GT: wrench
wrench Detection preview by Box_v11_medium_train_SIXray_OPIXray No objects detected Detection preview by DN_Medium_300_yolov8m_20t7_new wrench Detection preview by Segmentatation_v8_medium_train_250 wrench Detection preview by Segmentation_V11_large_300_train_300 wrench Detection preview by Segmentation_v8_large_300_train_300
Original Image: P05059.jpg
GT: scissors
scissor Detection preview by Box_v11_medium_train_SIXray_OPIXray scissor Detection preview by DN_Medium_300_yolov8m_20t7_new scissor Detection preview by Segmentatation_v8_medium_train_250 scissor Detection preview by Segmentation_V11_large_300_train_300 scissor Detection preview by Segmentation_v8_large_300_train_300
Original Image: P05060.jpg
GT: pliers
pliers Detection preview by Box_v11_medium_train_SIXray_OPIXray No objects detected Detection preview by DN_Medium_300_yolov8m_20t7_new No objects detected Detection preview by Segmentatation_v8_medium_train_250 No objects detected Detection preview by Segmentation_V11_large_300_train_300 No objects detected Detection preview by Segmentation_v8_large_300_train_300
Original Image: P05061.jpg
GT: pliers
pliers Detection preview by Box_v11_medium_train_SIXray_OPIXray No objects detected Detection preview by DN_Medium_300_yolov8m_20t7_new No objects detected Detection preview by Segmentatation_v8_medium_train_250 No objects detected Detection preview by Segmentation_V11_large_300_train_300 No objects detected Detection preview by Segmentation_v8_large_300_train_300
Original Image: P05062.jpg
GT: pliers
pliers Detection preview by Box_v11_medium_train_SIXray_OPIXray No objects detected Detection preview by DN_Medium_300_yolov8m_20t7_new No objects detected Detection preview by Segmentatation_v8_medium_train_250 No objects detected Detection preview by Segmentation_V11_large_300_train_300 No objects detected Detection preview by Segmentation_v8_large_300_train_300
Original Image: P05063.jpg
GT: pliers
pliers Detection preview by Box_v11_medium_train_SIXray_OPIXray No objects detected Detection preview by DN_Medium_300_yolov8m_20t7_new No objects detected Detection preview by Segmentatation_v8_medium_train_250 No objects detected Detection preview by Segmentation_V11_large_300_train_300 No objects detected Detection preview by Segmentation_v8_large_300_train_300
Original Image: P05064.jpg
GT: scissors
scissor Detection preview by Box_v11_medium_train_SIXray_OPIXray No objects detected Detection preview by DN_Medium_300_yolov8m_20t7_new scissor Detection preview by Segmentatation_v8_medium_train_250 scissor Detection preview by Segmentation_V11_large_300_train_300 scissor Detection preview by Segmentation_v8_large_300_train_300
Original Image: P05065.jpg
GT: scissors
scissor Detection preview by Box_v11_medium_train_SIXray_OPIXray No objects detected Detection preview by DN_Medium_300_yolov8m_20t7_new scissor Detection preview by Segmentatation_v8_medium_train_250 scissor Detection preview by Segmentation_V11_large_300_train_300 scissor Detection preview by Segmentation_v8_large_300_train_300
Original Image: P05066.jpg
GT: scissors
scissor Detection preview by Box_v11_medium_train_SIXray_OPIXray No objects detected Detection preview by DN_Medium_300_yolov8m_20t7_new scissor Detection preview by Segmentatation_v8_medium_train_250 scissor Detection preview by Segmentation_V11_large_300_train_300 scissor Detection preview by Segmentation_v8_large_300_train_300
Original Image: P05067.jpg
GT: scissors
scissor Detection preview by Box_v11_medium_train_SIXray_OPIXray scissor Detection preview by DN_Medium_300_yolov8m_20t7_new scissor Detection preview by Segmentatation_v8_medium_train_250 scissor Detection preview by Segmentation_V11_large_300_train_300 scissor Detection preview by Segmentation_v8_large_300_train_300
Original Image: P05068.jpg
GT: scissors
scissor Detection preview by Box_v11_medium_train_SIXray_OPIXray scissor Detection preview by DN_Medium_300_yolov8m_20t7_new scissor Detection preview by Segmentatation_v8_medium_train_250 scissor Detection preview by Segmentation_V11_large_300_train_300 scissor Detection preview by Segmentation_v8_large_300_train_300
Original Image: P05069.jpg
GT: pliers
pliers Detection preview by Box_v11_medium_train_SIXray_OPIXray No objects detected Detection preview by DN_Medium_300_yolov8m_20t7_new No objects detected Detection preview by Segmentatation_v8_medium_train_250 No objects detected Detection preview by Segmentation_V11_large_300_train_300 No objects detected Detection preview by Segmentation_v8_large_300_train_300
Original Image: P05070.jpg
GT: pliers
pliers Detection preview by Box_v11_medium_train_SIXray_OPIXray No objects detected Detection preview by DN_Medium_300_yolov8m_20t7_new No objects detected Detection preview by Segmentatation_v8_medium_train_250 No objects detected Detection preview by Segmentation_V11_large_300_train_300 No objects detected Detection preview by Segmentation_v8_large_300_train_300
Original Image: P05071.jpg
GT: wrench
wrench Detection preview by Box_v11_medium_train_SIXray_OPIXray No objects detected Detection preview by DN_Medium_300_yolov8m_20t7_new wrench Detection preview by Segmentatation_v8_medium_train_250 wrench Detection preview by Segmentation_V11_large_300_train_300 wrench Detection preview by Segmentation_v8_large_300_train_300
Original Image: P05072.jpg
GT: pliers
pliers Detection preview by Box_v11_medium_train_SIXray_OPIXray No objects detected Detection preview by DN_Medium_300_yolov8m_20t7_new No objects detected Detection preview by Segmentatation_v8_medium_train_250 No objects detected Detection preview by Segmentation_V11_large_300_train_300 No objects detected Detection preview by Segmentation_v8_large_300_train_300
Original Image: P05073.jpg
GT: knife
knife Detection preview by Box_v11_medium_train_SIXray_OPIXray No objects detected Detection preview by DN_Medium_300_yolov8m_20t7_new scissor Detection preview by Segmentatation_v8_medium_train_250 scissor Detection preview by Segmentation_V11_large_300_train_300 scissor Detection preview by Segmentation_v8_large_300_train_300
Original Image: P05074.jpg
GT: knife
knife Detection preview by Box_v11_medium_train_SIXray_OPIXray No objects detected Detection preview by DN_Medium_300_yolov8m_20t7_new scissor Detection preview by Segmentatation_v8_medium_train_250 scissor Detection preview by Segmentation_V11_large_300_train_300 scissor Detection preview by Segmentation_v8_large_300_train_300
Original Image: P05075.jpg
GT: pliers
pliers Detection preview by Box_v11_medium_train_SIXray_OPIXray No objects detected Detection preview by DN_Medium_300_yolov8m_20t7_new No objects detected Detection preview by Segmentatation_v8_medium_train_250 No objects detected Detection preview by Segmentation_V11_large_300_train_300 No objects detected Detection preview by Segmentation_v8_large_300_train_300
Original Image: P05076.jpg
GT: pliers
pliers Detection preview by Box_v11_medium_train_SIXray_OPIXray pliers Detection preview by DN_Medium_300_yolov8m_20t7_new No objects detected Detection preview by Segmentatation_v8_medium_train_250 No objects detected Detection preview by Segmentation_V11_large_300_train_300 No objects detected Detection preview by Segmentation_v8_large_300_train_300
Original Image: P05077.jpg
GT: pliers
pliers Detection preview by Box_v11_medium_train_SIXray_OPIXray pliers Detection preview by DN_Medium_300_yolov8m_20t7_new No objects detected Detection preview by Segmentatation_v8_medium_train_250 No objects detected Detection preview by Segmentation_V11_large_300_train_300 No objects detected Detection preview by Segmentation_v8_large_300_train_300
Original Image: P05078.jpg
GT: pliers
pliers Detection preview by Box_v11_medium_train_SIXray_OPIXray pliers Detection preview by DN_Medium_300_yolov8m_20t7_new No objects detected Detection preview by Segmentatation_v8_medium_train_250 No objects detected Detection preview by Segmentation_V11_large_300_train_300 No objects detected Detection preview by Segmentation_v8_large_300_train_300
Original Image: P05079.jpg
GT: pliers
pliers Detection preview by Box_v11_medium_train_SIXray_OPIXray pliers Detection preview by DN_Medium_300_yolov8m_20t7_new No objects detected Detection preview by Segmentatation_v8_medium_train_250 No objects detected Detection preview by Segmentation_V11_large_300_train_300 No objects detected Detection preview by Segmentation_v8_large_300_train_300
Original Image: P05080.jpg
GT: knife
knife Detection preview by Box_v11_medium_train_SIXray_OPIXray No objects detected Detection preview by DN_Medium_300_yolov8m_20t7_new scissor Detection preview by Segmentatation_v8_medium_train_250 scissor Detection preview by Segmentation_V11_large_300_train_300 scissor Detection preview by Segmentation_v8_large_300_train_300
Original Image: P05081.jpg
GT: knife
knife Detection preview by Box_v11_medium_train_SIXray_OPIXray No objects detected Detection preview by DN_Medium_300_yolov8m_20t7_new knife Detection preview by Segmentatation_v8_medium_train_250 knife Detection preview by Segmentation_V11_large_300_train_300 knife Detection preview by Segmentation_v8_large_300_train_300
Original Image: P05082.jpg
GT: wrench
wrench Detection preview by Box_v11_medium_train_SIXray_OPIXray No objects detected Detection preview by DN_Medium_300_yolov8m_20t7_new wrench Detection preview by Segmentatation_v8_medium_train_250 wrench Detection preview by Segmentation_V11_large_300_train_300 wrench Detection preview by Segmentation_v8_large_300_train_300
Original Image: P05083.jpg
GT: wrench
wrench Detection preview by Box_v11_medium_train_SIXray_OPIXray No objects detected Detection preview by DN_Medium_300_yolov8m_20t7_new wrench Detection preview by Segmentatation_v8_medium_train_250 wrench Detection preview by Segmentation_V11_large_300_train_300 wrench Detection preview by Segmentation_v8_large_300_train_300
Original Image: P05084.jpg
GT: wrench
wrench Detection preview by Box_v11_medium_train_SIXray_OPIXray No objects detected Detection preview by DN_Medium_300_yolov8m_20t7_new wrench Detection preview by Segmentatation_v8_medium_train_250 wrench Detection preview by Segmentation_V11_large_300_train_300 wrench Detection preview by Segmentation_v8_large_300_train_300
Original Image: P05085.jpg
GT: wrench
wrench Detection preview by Box_v11_medium_train_SIXray_OPIXray No objects detected Detection preview by DN_Medium_300_yolov8m_20t7_new wrench Detection preview by Segmentatation_v8_medium_train_250 wrench Detection preview by Segmentation_V11_large_300_train_300 wrench Detection preview by Segmentation_v8_large_300_train_300
Original Image: P05086.jpg
GT: pliers
pliers Detection preview by Box_v11_medium_train_SIXray_OPIXray No objects detected Detection preview by DN_Medium_300_yolov8m_20t7_new No objects detected Detection preview by Segmentatation_v8_medium_train_250 No objects detected Detection preview by Segmentation_V11_large_300_train_300 No objects detected Detection preview by Segmentation_v8_large_300_train_300
Original Image: P05087.jpg
GT: pliers
pliers Detection preview by Box_v11_medium_train_SIXray_OPIXray No objects detected Detection preview by DN_Medium_300_yolov8m_20t7_new No objects detected Detection preview by Segmentatation_v8_medium_train_250 No objects detected Detection preview by Segmentation_V11_large_300_train_300 No objects detected Detection preview by Segmentation_v8_large_300_train_300
Original Image: P05088.jpg
GT: pliers
pliers Detection preview by Box_v11_medium_train_SIXray_OPIXray No objects detected Detection preview by DN_Medium_300_yolov8m_20t7_new No objects detected Detection preview by Segmentatation_v8_medium_train_250 No objects detected Detection preview by Segmentation_V11_large_300_train_300 No objects detected Detection preview by Segmentation_v8_large_300_train_300
Original Image: P05089.jpg
GT: pliers
pliers Detection preview by Box_v11_medium_train_SIXray_OPIXray pliers Detection preview by DN_Medium_300_yolov8m_20t7_new No objects detected Detection preview by Segmentatation_v8_medium_train_250 No objects detected Detection preview by Segmentation_V11_large_300_train_300 No objects detected Detection preview by Segmentation_v8_large_300_train_300
Original Image: P05090.jpg
GT: pliers
pliers Detection preview by Box_v11_medium_train_SIXray_OPIXray pliers Detection preview by DN_Medium_300_yolov8m_20t7_new No objects detected Detection preview by Segmentatation_v8_medium_train_250 No objects detected Detection preview by Segmentation_V11_large_300_train_300 No objects detected Detection preview by Segmentation_v8_large_300_train_300
Original Image: P05091.jpg
GT: pliers
pliers Detection preview by Box_v11_medium_train_SIXray_OPIXray pliers Detection preview by DN_Medium_300_yolov8m_20t7_new No objects detected Detection preview by Segmentatation_v8_medium_train_250 No objects detected Detection preview by Segmentation_V11_large_300_train_300 No objects detected Detection preview by Segmentation_v8_large_300_train_300
Original Image: P05092.jpg
GT: pliers, wrench
pliers, wrench Detection preview by Box_v11_medium_train_SIXray_OPIXray pliers Detection preview by DN_Medium_300_yolov8m_20t7_new wrench Detection preview by Segmentatation_v8_medium_train_250 wrench Detection preview by Segmentation_V11_large_300_train_300 wrench Detection preview by Segmentation_v8_large_300_train_300
Original Image: P05093.jpg
GT: knife
knife Detection preview by Box_v11_medium_train_SIXray_OPIXray No objects detected Detection preview by DN_Medium_300_yolov8m_20t7_new No objects detected Detection preview by Segmentatation_v8_medium_train_250 No objects detected Detection preview by Segmentation_V11_large_300_train_300 No objects detected Detection preview by Segmentation_v8_large_300_train_300
Original Image: P05094.jpg
GT: wrench
wrench Detection preview by Box_v11_medium_train_SIXray_OPIXray No objects detected Detection preview by DN_Medium_300_yolov8m_20t7_new wrench Detection preview by Segmentatation_v8_medium_train_250 wrench Detection preview by Segmentation_V11_large_300_train_300 wrench Detection preview by Segmentation_v8_large_300_train_300
Original Image: P05095.jpg
GT: wrench
wrench Detection preview by Box_v11_medium_train_SIXray_OPIXray No objects detected Detection preview by DN_Medium_300_yolov8m_20t7_new wrench Detection preview by Segmentatation_v8_medium_train_250 wrench Detection preview by Segmentation_V11_large_300_train_300 wrench Detection preview by Segmentation_v8_large_300_train_300
Original Image: P05096.jpg
GT: wrench
wrench Detection preview by Box_v11_medium_train_SIXray_OPIXray No objects detected Detection preview by DN_Medium_300_yolov8m_20t7_new wrench Detection preview by Segmentatation_v8_medium_train_250 wrench Detection preview by Segmentation_V11_large_300_train_300 wrench Detection preview by Segmentation_v8_large_300_train_300
Original Image: P05097.jpg
GT: wrench
wrench Detection preview by Box_v11_medium_train_SIXray_OPIXray No objects detected Detection preview by DN_Medium_300_yolov8m_20t7_new wrench Detection preview by Segmentatation_v8_medium_train_250 wrench Detection preview by Segmentation_V11_large_300_train_300 wrench Detection preview by Segmentation_v8_large_300_train_300
Original Image: P05098.jpg
GT: pliers
pliers Detection preview by Box_v11_medium_train_SIXray_OPIXray No objects detected Detection preview by DN_Medium_300_yolov8m_20t7_new No objects detected Detection preview by Segmentatation_v8_medium_train_250 No objects detected Detection preview by Segmentation_V11_large_300_train_300 No objects detected Detection preview by Segmentation_v8_large_300_train_300
Original Image: P05099.jpg
GT: scissors
scissor Detection preview by Box_v11_medium_train_SIXray_OPIXray scissor Detection preview by DN_Medium_300_yolov8m_20t7_new scissor Detection preview by Segmentatation_v8_medium_train_250 scissor Detection preview by Segmentation_V11_large_300_train_300 scissor Detection preview by Segmentation_v8_large_300_train_300
Original Image: P05100.jpg
GT: scissors
scissor Detection preview by Box_v11_medium_train_SIXray_OPIXray scissor Detection preview by DN_Medium_300_yolov8m_20t7_new scissor Detection preview by Segmentatation_v8_medium_train_250 scissor Detection preview by Segmentation_V11_large_300_train_300 scissor Detection preview by Segmentation_v8_large_300_train_300
Original Image: P05101.jpg
GT: scissors
scissor Detection preview by Box_v11_medium_train_SIXray_OPIXray scissor Detection preview by DN_Medium_300_yolov8m_20t7_new scissor Detection preview by Segmentatation_v8_medium_train_250 scissor Detection preview by Segmentation_V11_large_300_train_300 scissor Detection preview by Segmentation_v8_large_300_train_300
Original Image: P05102.jpg
GT: scissors
scissor Detection preview by Box_v11_medium_train_SIXray_OPIXray scissor Detection preview by DN_Medium_300_yolov8m_20t7_new scissor Detection preview by Segmentatation_v8_medium_train_250 scissor Detection preview by Segmentation_V11_large_300_train_300 scissor Detection preview by Segmentation_v8_large_300_train_300
Original Image: P05103.jpg
GT: pliers
pliers Detection preview by Box_v11_medium_train_SIXray_OPIXray No objects detected Detection preview by DN_Medium_300_yolov8m_20t7_new No objects detected Detection preview by Segmentatation_v8_medium_train_250 No objects detected Detection preview by Segmentation_V11_large_300_train_300 No objects detected Detection preview by Segmentation_v8_large_300_train_300
Original Image: P05104.jpg
GT: wrench
wrench Detection preview by Box_v11_medium_train_SIXray_OPIXray No objects detected Detection preview by DN_Medium_300_yolov8m_20t7_new wrench Detection preview by Segmentatation_v8_medium_train_250 scissor, wrench Detection preview by Segmentation_V11_large_300_train_300 wrench Detection preview by Segmentation_v8_large_300_train_300
Original Image: P05105.jpg
GT: wrench
wrench Detection preview by Box_v11_medium_train_SIXray_OPIXray No objects detected Detection preview by DN_Medium_300_yolov8m_20t7_new wrench Detection preview by Segmentatation_v8_medium_train_250 scissor, wrench Detection preview by Segmentation_V11_large_300_train_300 wrench Detection preview by Segmentation_v8_large_300_train_300
Original Image: P05106.jpg
GT: knife
knife Detection preview by Box_v11_medium_train_SIXray_OPIXray No objects detected Detection preview by DN_Medium_300_yolov8m_20t7_new scissor Detection preview by Segmentatation_v8_medium_train_250 scissor Detection preview by Segmentation_V11_large_300_train_300 scissor Detection preview by Segmentation_v8_large_300_train_300
Original Image: P05107.jpg
GT: knife
knife Detection preview by Box_v11_medium_train_SIXray_OPIXray No objects detected Detection preview by DN_Medium_300_yolov8m_20t7_new scissor Detection preview by Segmentatation_v8_medium_train_250 scissor Detection preview by Segmentation_V11_large_300_train_300 scissor Detection preview by Segmentation_v8_large_300_train_300
Original Image: P05108.jpg
GT: wrench
wrench Detection preview by Box_v11_medium_train_SIXray_OPIXray No objects detected Detection preview by DN_Medium_300_yolov8m_20t7_new wrench Detection preview by Segmentatation_v8_medium_train_250 wrench Detection preview by Segmentation_V11_large_300_train_300 wrench Detection preview by Segmentation_v8_large_300_train_300
Original Image: P05109.jpg
GT: wrench
wrench Detection preview by Box_v11_medium_train_SIXray_OPIXray No objects detected Detection preview by DN_Medium_300_yolov8m_20t7_new wrench Detection preview by Segmentatation_v8_medium_train_250 wrench Detection preview by Segmentation_V11_large_300_train_300 wrench Detection preview by Segmentation_v8_large_300_train_300
Original Image: P05110.jpg
GT: None
No objects detected Detection preview by Box_v11_medium_train_SIXray_OPIXray No objects detected Detection preview by DN_Medium_300_yolov8m_20t7_new No objects detected Detection preview by Segmentatation_v8_medium_train_250 No objects detected Detection preview by Segmentation_V11_large_300_train_300 No objects detected Detection preview by Segmentation_v8_large_300_train_300
Original Image: P05111.jpg
GT: None
No objects detected Detection preview by Box_v11_medium_train_SIXray_OPIXray No objects detected Detection preview by DN_Medium_300_yolov8m_20t7_new No objects detected Detection preview by Segmentatation_v8_medium_train_250 No objects detected Detection preview by Segmentation_V11_large_300_train_300 No objects detected Detection preview by Segmentation_v8_large_300_train_300
Original Image: P05112.jpg
GT: knife, scissors
knife, scissor Detection preview by Box_v11_medium_train_SIXray_OPIXray No objects detected Detection preview by DN_Medium_300_yolov8m_20t7_new scissor Detection preview by Segmentatation_v8_medium_train_250 scissor Detection preview by Segmentation_V11_large_300_train_300 scissor Detection preview by Segmentation_v8_large_300_train_300
Original Image: P05113.jpg
GT: scissors
scissor Detection preview by Box_v11_medium_train_SIXray_OPIXray No objects detected Detection preview by DN_Medium_300_yolov8m_20t7_new scissor Detection preview by Segmentatation_v8_medium_train_250 scissor Detection preview by Segmentation_V11_large_300_train_300 scissor Detection preview by Segmentation_v8_large_300_train_300
Original Image: P05114.jpg
GT: scissors
scissor Detection preview by Box_v11_medium_train_SIXray_OPIXray No objects detected Detection preview by DN_Medium_300_yolov8m_20t7_new scissor Detection preview by Segmentatation_v8_medium_train_250 scissor Detection preview by Segmentation_V11_large_300_train_300 scissor Detection preview by Segmentation_v8_large_300_train_300
Original Image: P05115.jpg
GT: pliers
pliers Detection preview by Box_v11_medium_train_SIXray_OPIXray No objects detected Detection preview by DN_Medium_300_yolov8m_20t7_new No objects detected Detection preview by Segmentatation_v8_medium_train_250 No objects detected Detection preview by Segmentation_V11_large_300_train_300 No objects detected Detection preview by Segmentation_v8_large_300_train_300
Original Image: P05116.jpg
GT: pliers
pliers Detection preview by Box_v11_medium_train_SIXray_OPIXray No objects detected Detection preview by DN_Medium_300_yolov8m_20t7_new No objects detected Detection preview by Segmentatation_v8_medium_train_250 No objects detected Detection preview by Segmentation_V11_large_300_train_300 No objects detected Detection preview by Segmentation_v8_large_300_train_300
Original Image: P05117.jpg
GT: pliers
pliers Detection preview by Box_v11_medium_train_SIXray_OPIXray pliers Detection preview by DN_Medium_300_yolov8m_20t7_new No objects detected Detection preview by Segmentatation_v8_medium_train_250 No objects detected Detection preview by Segmentation_V11_large_300_train_300 No objects detected Detection preview by Segmentation_v8_large_300_train_300
Original Image: P05118.jpg
GT: wrench
wrench Detection preview by Box_v11_medium_train_SIXray_OPIXray No objects detected Detection preview by DN_Medium_300_yolov8m_20t7_new wrench Detection preview by Segmentatation_v8_medium_train_250 wrench Detection preview by Segmentation_V11_large_300_train_300 wrench Detection preview by Segmentation_v8_large_300_train_300
Original Image: P05119.jpg
GT: pliers
pliers Detection preview by Box_v11_medium_train_SIXray_OPIXray pliers Detection preview by DN_Medium_300_yolov8m_20t7_new No objects detected Detection preview by Segmentatation_v8_medium_train_250 No objects detected Detection preview by Segmentation_V11_large_300_train_300 No objects detected Detection preview by Segmentation_v8_large_300_train_300
Original Image: P05120.jpg
GT: pliers
pliers Detection preview by Box_v11_medium_train_SIXray_OPIXray pliers Detection preview by DN_Medium_300_yolov8m_20t7_new No objects detected Detection preview by Segmentatation_v8_medium_train_250 No objects detected Detection preview by Segmentation_V11_large_300_train_300 No objects detected Detection preview by Segmentation_v8_large_300_train_300
Original Image: P05121.jpg
GT: pliers
pliers Detection preview by Box_v11_medium_train_SIXray_OPIXray No objects detected Detection preview by DN_Medium_300_yolov8m_20t7_new No objects detected Detection preview by Segmentatation_v8_medium_train_250 No objects detected Detection preview by Segmentation_V11_large_300_train_300 No objects detected Detection preview by Segmentation_v8_large_300_train_300
Original Image: P05122.jpg
GT: pliers
pliers Detection preview by Box_v11_medium_train_SIXray_OPIXray pliers Detection preview by DN_Medium_300_yolov8m_20t7_new No objects detected Detection preview by Segmentatation_v8_medium_train_250 No objects detected Detection preview by Segmentation_V11_large_300_train_300 No objects detected Detection preview by Segmentation_v8_large_300_train_300
Original Image: P05123.jpg
GT: pliers
pliers Detection preview by Box_v11_medium_train_SIXray_OPIXray pliers Detection preview by DN_Medium_300_yolov8m_20t7_new No objects detected Detection preview by Segmentatation_v8_medium_train_250 No objects detected Detection preview by Segmentation_V11_large_300_train_300 No objects detected Detection preview by Segmentation_v8_large_300_train_300
Original Image: P05124.jpg
GT: pliers
pliers Detection preview by Box_v11_medium_train_SIXray_OPIXray No objects detected Detection preview by DN_Medium_300_yolov8m_20t7_new No objects detected Detection preview by Segmentatation_v8_medium_train_250 No objects detected Detection preview by Segmentation_V11_large_300_train_300 No objects detected Detection preview by Segmentation_v8_large_300_train_300
Original Image: P05125.jpg
GT: pliers
pliers Detection preview by Box_v11_medium_train_SIXray_OPIXray pliers Detection preview by DN_Medium_300_yolov8m_20t7_new No objects detected Detection preview by Segmentatation_v8_medium_train_250 No objects detected Detection preview by Segmentation_V11_large_300_train_300 No objects detected Detection preview by Segmentation_v8_large_300_train_300
Original Image: P05126.jpg
GT: pliers
pliers Detection preview by Box_v11_medium_train_SIXray_OPIXray No objects detected Detection preview by DN_Medium_300_yolov8m_20t7_new No objects detected Detection preview by Segmentatation_v8_medium_train_250 No objects detected Detection preview by Segmentation_V11_large_300_train_300 No objects detected Detection preview by Segmentation_v8_large_300_train_300
Original Image: P05127.jpg
GT: pliers
pliers Detection preview by Box_v11_medium_train_SIXray_OPIXray No objects detected Detection preview by DN_Medium_300_yolov8m_20t7_new No objects detected Detection preview by Segmentatation_v8_medium_train_250 No objects detected Detection preview by Segmentation_V11_large_300_train_300 No objects detected Detection preview by Segmentation_v8_large_300_train_300
Original Image: P05128.jpg
GT: pliers
pliers Detection preview by Box_v11_medium_train_SIXray_OPIXray pliers Detection preview by DN_Medium_300_yolov8m_20t7_new No objects detected Detection preview by Segmentatation_v8_medium_train_250 No objects detected Detection preview by Segmentation_V11_large_300_train_300 No objects detected Detection preview by Segmentation_v8_large_300_train_300
Original Image: P05129.jpg
GT: wrench
wrench Detection preview by Box_v11_medium_train_SIXray_OPIXray No objects detected Detection preview by DN_Medium_300_yolov8m_20t7_new wrench Detection preview by Segmentatation_v8_medium_train_250 wrench Detection preview by Segmentation_V11_large_300_train_300 wrench Detection preview by Segmentation_v8_large_300_train_300
Original Image: P05130.jpg
GT: wrench
wrench Detection preview by Box_v11_medium_train_SIXray_OPIXray No objects detected Detection preview by DN_Medium_300_yolov8m_20t7_new wrench Detection preview by Segmentatation_v8_medium_train_250 wrench Detection preview by Segmentation_V11_large_300_train_300 wrench Detection preview by Segmentation_v8_large_300_train_300
Original Image: P05131.jpg
GT: wrench
wrench Detection preview by Box_v11_medium_train_SIXray_OPIXray No objects detected Detection preview by DN_Medium_300_yolov8m_20t7_new wrench Detection preview by Segmentatation_v8_medium_train_250 wrench Detection preview by Segmentation_V11_large_300_train_300 wrench Detection preview by Segmentation_v8_large_300_train_300
Original Image: P05132.jpg
GT: pliers
pliers Detection preview by Box_v11_medium_train_SIXray_OPIXray No objects detected Detection preview by DN_Medium_300_yolov8m_20t7_new No objects detected Detection preview by Segmentatation_v8_medium_train_250 No objects detected Detection preview by Segmentation_V11_large_300_train_300 No objects detected Detection preview by Segmentation_v8_large_300_train_300
Original Image: P05133.jpg
GT: wrench
wrench Detection preview by Box_v11_medium_train_SIXray_OPIXray No objects detected Detection preview by DN_Medium_300_yolov8m_20t7_new wrench Detection preview by Segmentatation_v8_medium_train_250 wrench Detection preview by Segmentation_V11_large_300_train_300 wrench Detection preview by Segmentation_v8_large_300_train_300
Original Image: P05134.jpg
GT: wrench
wrench Detection preview by Box_v11_medium_train_SIXray_OPIXray No objects detected Detection preview by DN_Medium_300_yolov8m_20t7_new wrench Detection preview by Segmentatation_v8_medium_train_250 wrench Detection preview by Segmentation_V11_large_300_train_300 wrench Detection preview by Segmentation_v8_large_300_train_300
Original Image: P05135.jpg
GT: wrench
wrench Detection preview by Box_v11_medium_train_SIXray_OPIXray No objects detected Detection preview by DN_Medium_300_yolov8m_20t7_new wrench Detection preview by Segmentatation_v8_medium_train_250 wrench Detection preview by Segmentation_V11_large_300_train_300 wrench Detection preview by Segmentation_v8_large_300_train_300
Original Image: P05136.jpg
GT: pliers
pliers Detection preview by Box_v11_medium_train_SIXray_OPIXray No objects detected Detection preview by DN_Medium_300_yolov8m_20t7_new No objects detected Detection preview by Segmentatation_v8_medium_train_250 No objects detected Detection preview by Segmentation_V11_large_300_train_300 No objects detected Detection preview by Segmentation_v8_large_300_train_300
Original Image: P05137.jpg
GT: pliers
pliers Detection preview by Box_v11_medium_train_SIXray_OPIXray No objects detected Detection preview by DN_Medium_300_yolov8m_20t7_new No objects detected Detection preview by Segmentatation_v8_medium_train_250 No objects detected Detection preview by Segmentation_V11_large_300_train_300 No objects detected Detection preview by Segmentation_v8_large_300_train_300
Original Image: P05138.jpg
GT: pliers
pliers Detection preview by Box_v11_medium_train_SIXray_OPIXray No objects detected Detection preview by DN_Medium_300_yolov8m_20t7_new No objects detected Detection preview by Segmentatation_v8_medium_train_250 No objects detected Detection preview by Segmentation_V11_large_300_train_300 No objects detected Detection preview by Segmentation_v8_large_300_train_300
Original Image: P05139.jpg
GT: scissors
scissor Detection preview by Box_v11_medium_train_SIXray_OPIXray No objects detected Detection preview by DN_Medium_300_yolov8m_20t7_new scissor Detection preview by Segmentatation_v8_medium_train_250 scissor Detection preview by Segmentation_V11_large_300_train_300 scissor Detection preview by Segmentation_v8_large_300_train_300
Original Image: P05140.jpg
GT: scissors
scissor Detection preview by Box_v11_medium_train_SIXray_OPIXray No objects detected Detection preview by DN_Medium_300_yolov8m_20t7_new scissor Detection preview by Segmentatation_v8_medium_train_250 scissor Detection preview by Segmentation_V11_large_300_train_300 scissor Detection preview by Segmentation_v8_large_300_train_300
Original Image: P05141.jpg
GT: scissors
scissor Detection preview by Box_v11_medium_train_SIXray_OPIXray No objects detected Detection preview by DN_Medium_300_yolov8m_20t7_new scissor, wrench Detection preview by Segmentatation_v8_medium_train_250 scissor Detection preview by Segmentation_V11_large_300_train_300 scissor Detection preview by Segmentation_v8_large_300_train_300
Original Image: P05142.jpg
GT: scissors
scissor Detection preview by Box_v11_medium_train_SIXray_OPIXray No objects detected Detection preview by DN_Medium_300_yolov8m_20t7_new scissor Detection preview by Segmentatation_v8_medium_train_250 scissor Detection preview by Segmentation_V11_large_300_train_300 scissor Detection preview by Segmentation_v8_large_300_train_300
Original Image: P05143.jpg
GT: pliers
pliers Detection preview by Box_v11_medium_train_SIXray_OPIXray pliers Detection preview by DN_Medium_300_yolov8m_20t7_new No objects detected Detection preview by Segmentatation_v8_medium_train_250 No objects detected Detection preview by Segmentation_V11_large_300_train_300 No objects detected Detection preview by Segmentation_v8_large_300_train_300
Original Image: P05144.jpg
GT: pliers
pliers Detection preview by Box_v11_medium_train_SIXray_OPIXray pliers Detection preview by DN_Medium_300_yolov8m_20t7_new No objects detected Detection preview by Segmentatation_v8_medium_train_250 No objects detected Detection preview by Segmentation_V11_large_300_train_300 No objects detected Detection preview by Segmentation_v8_large_300_train_300
Original Image: P05145.jpg
GT: pliers
pliers Detection preview by Box_v11_medium_train_SIXray_OPIXray pliers Detection preview by DN_Medium_300_yolov8m_20t7_new No objects detected Detection preview by Segmentatation_v8_medium_train_250 No objects detected Detection preview by Segmentation_V11_large_300_train_300 No objects detected Detection preview by Segmentation_v8_large_300_train_300
Original Image: P05146.jpg
GT: pliers
pliers Detection preview by Box_v11_medium_train_SIXray_OPIXray pliers Detection preview by DN_Medium_300_yolov8m_20t7_new No objects detected Detection preview by Segmentatation_v8_medium_train_250 No objects detected Detection preview by Segmentation_V11_large_300_train_300 No objects detected Detection preview by Segmentation_v8_large_300_train_300
Original Image: P05147.jpg
GT: pliers, wrench
pliers, wrench Detection preview by Box_v11_medium_train_SIXray_OPIXray pliers Detection preview by DN_Medium_300_yolov8m_20t7_new wrench Detection preview by Segmentatation_v8_medium_train_250 wrench Detection preview by Segmentation_V11_large_300_train_300 wrench Detection preview by Segmentation_v8_large_300_train_300
Original Image: P05148.jpg
GT: pliers
pliers Detection preview by Box_v11_medium_train_SIXray_OPIXray pliers Detection preview by DN_Medium_300_yolov8m_20t7_new No objects detected Detection preview by Segmentatation_v8_medium_train_250 No objects detected Detection preview by Segmentation_V11_large_300_train_300 No objects detected Detection preview by Segmentation_v8_large_300_train_300
Original Image: P05149.jpg
GT: pliers
pliers Detection preview by Box_v11_medium_train_SIXray_OPIXray No objects detected Detection preview by DN_Medium_300_yolov8m_20t7_new No objects detected Detection preview by Segmentatation_v8_medium_train_250 No objects detected Detection preview by Segmentation_V11_large_300_train_300 No objects detected Detection preview by Segmentation_v8_large_300_train_300
Original Image: P05150.jpg
GT: pliers
pliers Detection preview by Box_v11_medium_train_SIXray_OPIXray No objects detected Detection preview by DN_Medium_300_yolov8m_20t7_new No objects detected Detection preview by Segmentatation_v8_medium_train_250 No objects detected Detection preview by Segmentation_V11_large_300_train_300 No objects detected Detection preview by Segmentation_v8_large_300_train_300
Original Image: P05151.jpg
GT: pliers
pliers Detection preview by Box_v11_medium_train_SIXray_OPIXray No objects detected Detection preview by DN_Medium_300_yolov8m_20t7_new No objects detected Detection preview by Segmentatation_v8_medium_train_250 No objects detected Detection preview by Segmentation_V11_large_300_train_300 No objects detected Detection preview by Segmentation_v8_large_300_train_300
Original Image: P05152.jpg
GT: pliers, wrench
pliers, wrench Detection preview by Box_v11_medium_train_SIXray_OPIXray No objects detected Detection preview by DN_Medium_300_yolov8m_20t7_new wrench Detection preview by Segmentatation_v8_medium_train_250 wrench Detection preview by Segmentation_V11_large_300_train_300 wrench Detection preview by Segmentation_v8_large_300_train_300
Original Image: P05153.jpg
GT: pliers
pliers, wrench Detection preview by Box_v11_medium_train_SIXray_OPIXray No objects detected Detection preview by DN_Medium_300_yolov8m_20t7_new wrench Detection preview by Segmentatation_v8_medium_train_250 No objects detected Detection preview by Segmentation_V11_large_300_train_300 wrench Detection preview by Segmentation_v8_large_300_train_300
Original Image: P05154.jpg
GT: pliers
pliers Detection preview by Box_v11_medium_train_SIXray_OPIXray No objects detected Detection preview by DN_Medium_300_yolov8m_20t7_new No objects detected Detection preview by Segmentatation_v8_medium_train_250 No objects detected Detection preview by Segmentation_V11_large_300_train_300 No objects detected Detection preview by Segmentation_v8_large_300_train_300
Original Image: P05155.jpg
GT: pliers
pliers Detection preview by Box_v11_medium_train_SIXray_OPIXray No objects detected Detection preview by DN_Medium_300_yolov8m_20t7_new No objects detected Detection preview by Segmentatation_v8_medium_train_250 No objects detected Detection preview by Segmentation_V11_large_300_train_300 No objects detected Detection preview by Segmentation_v8_large_300_train_300
Original Image: P05156.jpg
GT: pliers
pliers Detection preview by Box_v11_medium_train_SIXray_OPIXray No objects detected Detection preview by DN_Medium_300_yolov8m_20t7_new No objects detected Detection preview by Segmentatation_v8_medium_train_250 wrench Detection preview by Segmentation_V11_large_300_train_300 No objects detected Detection preview by Segmentation_v8_large_300_train_300
Original Image: P05157.jpg
GT: pliers
pliers Detection preview by Box_v11_medium_train_SIXray_OPIXray No objects detected Detection preview by DN_Medium_300_yolov8m_20t7_new No objects detected Detection preview by Segmentatation_v8_medium_train_250 wrench Detection preview by Segmentation_V11_large_300_train_300 No objects detected Detection preview by Segmentation_v8_large_300_train_300
Original Image: P05158.jpg
GT: pliers, wrench
pliers, wrench Detection preview by Box_v11_medium_train_SIXray_OPIXray No objects detected Detection preview by DN_Medium_300_yolov8m_20t7_new wrench Detection preview by Segmentatation_v8_medium_train_250 wrench Detection preview by Segmentation_V11_large_300_train_300 wrench Detection preview by Segmentation_v8_large_300_train_300
Original Image: P05159.jpg
GT: pliers
pliers Detection preview by Box_v11_medium_train_SIXray_OPIXray No objects detected Detection preview by DN_Medium_300_yolov8m_20t7_new No objects detected Detection preview by Segmentatation_v8_medium_train_250 No objects detected Detection preview by Segmentation_V11_large_300_train_300 No objects detected Detection preview by Segmentation_v8_large_300_train_300
Original Image: P05160.jpg
GT: pliers
pliers Detection preview by Box_v11_medium_train_SIXray_OPIXray No objects detected Detection preview by DN_Medium_300_yolov8m_20t7_new No objects detected Detection preview by Segmentatation_v8_medium_train_250 No objects detected Detection preview by Segmentation_V11_large_300_train_300 No objects detected Detection preview by Segmentation_v8_large_300_train_300
Original Image: P05161.jpg
GT: pliers
pliers Detection preview by Box_v11_medium_train_SIXray_OPIXray No objects detected Detection preview by DN_Medium_300_yolov8m_20t7_new No objects detected Detection preview by Segmentatation_v8_medium_train_250 No objects detected Detection preview by Segmentation_V11_large_300_train_300 No objects detected Detection preview by Segmentation_v8_large_300_train_300
Original Image: P05162.jpg
GT: pliers
pliers Detection preview by Box_v11_medium_train_SIXray_OPIXray No objects detected Detection preview by DN_Medium_300_yolov8m_20t7_new No objects detected Detection preview by Segmentatation_v8_medium_train_250 No objects detected Detection preview by Segmentation_V11_large_300_train_300 No objects detected Detection preview by Segmentation_v8_large_300_train_300
Original Image: P05163.jpg
GT: pliers
pliers Detection preview by Box_v11_medium_train_SIXray_OPIXray pliers Detection preview by DN_Medium_300_yolov8m_20t7_new No objects detected Detection preview by Segmentatation_v8_medium_train_250 No objects detected Detection preview by Segmentation_V11_large_300_train_300 No objects detected Detection preview by Segmentation_v8_large_300_train_300
Original Image: P05164.jpg
GT: pliers
pliers Detection preview by Box_v11_medium_train_SIXray_OPIXray pliers Detection preview by DN_Medium_300_yolov8m_20t7_new No objects detected Detection preview by Segmentatation_v8_medium_train_250 No objects detected Detection preview by Segmentation_V11_large_300_train_300 No objects detected Detection preview by Segmentation_v8_large_300_train_300
Original Image: P05165.jpg
GT: pliers
pliers Detection preview by Box_v11_medium_train_SIXray_OPIXray No objects detected Detection preview by DN_Medium_300_yolov8m_20t7_new No objects detected Detection preview by Segmentatation_v8_medium_train_250 No objects detected Detection preview by Segmentation_V11_large_300_train_300 No objects detected Detection preview by Segmentation_v8_large_300_train_300
Original Image: P05166.jpg
GT: pliers
pliers Detection preview by Box_v11_medium_train_SIXray_OPIXray pliers Detection preview by DN_Medium_300_yolov8m_20t7_new No objects detected Detection preview by Segmentatation_v8_medium_train_250 No objects detected Detection preview by Segmentation_V11_large_300_train_300 No objects detected Detection preview by Segmentation_v8_large_300_train_300
Original Image: P05167.jpg
GT: pliers
pliers Detection preview by Box_v11_medium_train_SIXray_OPIXray No objects detected Detection preview by DN_Medium_300_yolov8m_20t7_new No objects detected Detection preview by Segmentatation_v8_medium_train_250 No objects detected Detection preview by Segmentation_V11_large_300_train_300 No objects detected Detection preview by Segmentation_v8_large_300_train_300
Original Image: P05168.jpg
GT: pliers
pliers Detection preview by Box_v11_medium_train_SIXray_OPIXray No objects detected Detection preview by DN_Medium_300_yolov8m_20t7_new No objects detected Detection preview by Segmentatation_v8_medium_train_250 No objects detected Detection preview by Segmentation_V11_large_300_train_300 No objects detected Detection preview by Segmentation_v8_large_300_train_300
Original Image: P05169.jpg
GT: pliers
pliers Detection preview by Box_v11_medium_train_SIXray_OPIXray No objects detected Detection preview by DN_Medium_300_yolov8m_20t7_new No objects detected Detection preview by Segmentatation_v8_medium_train_250 No objects detected Detection preview by Segmentation_V11_large_300_train_300 No objects detected Detection preview by Segmentation_v8_large_300_train_300
Original Image: P05170.jpg
GT: pliers
pliers Detection preview by Box_v11_medium_train_SIXray_OPIXray No objects detected Detection preview by DN_Medium_300_yolov8m_20t7_new No objects detected Detection preview by Segmentatation_v8_medium_train_250 No objects detected Detection preview by Segmentation_V11_large_300_train_300 No objects detected Detection preview by Segmentation_v8_large_300_train_300
Original Image: P05171.jpg
GT: scissors
scissor Detection preview by Box_v11_medium_train_SIXray_OPIXray No objects detected Detection preview by DN_Medium_300_yolov8m_20t7_new scissor Detection preview by Segmentatation_v8_medium_train_250 scissor Detection preview by Segmentation_V11_large_300_train_300 scissor Detection preview by Segmentation_v8_large_300_train_300
Original Image: P05172.jpg
GT: scissors
scissor Detection preview by Box_v11_medium_train_SIXray_OPIXray No objects detected Detection preview by DN_Medium_300_yolov8m_20t7_new scissor Detection preview by Segmentatation_v8_medium_train_250 scissor Detection preview by Segmentation_V11_large_300_train_300 scissor Detection preview by Segmentation_v8_large_300_train_300
Original Image: P05173.jpg
GT: pliers, wrench
pliers, wrench Detection preview by Box_v11_medium_train_SIXray_OPIXray No objects detected Detection preview by DN_Medium_300_yolov8m_20t7_new wrench Detection preview by Segmentatation_v8_medium_train_250 wrench Detection preview by Segmentation_V11_large_300_train_300 wrench Detection preview by Segmentation_v8_large_300_train_300
Original Image: P05174.jpg
GT: wrench
wrench Detection preview by Box_v11_medium_train_SIXray_OPIXray No objects detected Detection preview by DN_Medium_300_yolov8m_20t7_new wrench Detection preview by Segmentatation_v8_medium_train_250 wrench Detection preview by Segmentation_V11_large_300_train_300 wrench Detection preview by Segmentation_v8_large_300_train_300
Original Image: P05175.jpg
GT: wrench
wrench Detection preview by Box_v11_medium_train_SIXray_OPIXray No objects detected Detection preview by DN_Medium_300_yolov8m_20t7_new wrench Detection preview by Segmentatation_v8_medium_train_250 wrench Detection preview by Segmentation_V11_large_300_train_300 wrench Detection preview by Segmentation_v8_large_300_train_300
Original Image: P05176.jpg
GT: pliers, wrench
pliers, wrench Detection preview by Box_v11_medium_train_SIXray_OPIXray No objects detected Detection preview by DN_Medium_300_yolov8m_20t7_new wrench Detection preview by Segmentatation_v8_medium_train_250 wrench Detection preview by Segmentation_V11_large_300_train_300 wrench Detection preview by Segmentation_v8_large_300_train_300
Original Image: P05177.jpg
GT: pliers
pliers Detection preview by Box_v11_medium_train_SIXray_OPIXray No objects detected Detection preview by DN_Medium_300_yolov8m_20t7_new No objects detected Detection preview by Segmentatation_v8_medium_train_250 No objects detected Detection preview by Segmentation_V11_large_300_train_300 No objects detected Detection preview by Segmentation_v8_large_300_train_300
Original Image: P05178.jpg
GT: pliers
pliers Detection preview by Box_v11_medium_train_SIXray_OPIXray No objects detected Detection preview by DN_Medium_300_yolov8m_20t7_new No objects detected Detection preview by Segmentatation_v8_medium_train_250 No objects detected Detection preview by Segmentation_V11_large_300_train_300 No objects detected Detection preview by Segmentation_v8_large_300_train_300
Original Image: P05179.jpg
GT: pliers
pliers Detection preview by Box_v11_medium_train_SIXray_OPIXray No objects detected Detection preview by DN_Medium_300_yolov8m_20t7_new No objects detected Detection preview by Segmentatation_v8_medium_train_250 No objects detected Detection preview by Segmentation_V11_large_300_train_300 No objects detected Detection preview by Segmentation_v8_large_300_train_300
Original Image: P05180.jpg
GT: pliers, wrench
pliers, wrench Detection preview by Box_v11_medium_train_SIXray_OPIXray No objects detected Detection preview by DN_Medium_300_yolov8m_20t7_new wrench Detection preview by Segmentatation_v8_medium_train_250 wrench Detection preview by Segmentation_V11_large_300_train_300 wrench Detection preview by Segmentation_v8_large_300_train_300
Original Image: P05181.jpg
GT: pliers
pliers Detection preview by Box_v11_medium_train_SIXray_OPIXray pliers Detection preview by DN_Medium_300_yolov8m_20t7_new No objects detected Detection preview by Segmentatation_v8_medium_train_250 No objects detected Detection preview by Segmentation_V11_large_300_train_300 No objects detected Detection preview by Segmentation_v8_large_300_train_300
Original Image: P05182.jpg
GT: pliers, wrench
pliers, wrench Detection preview by Box_v11_medium_train_SIXray_OPIXray No objects detected Detection preview by DN_Medium_300_yolov8m_20t7_new wrench Detection preview by Segmentatation_v8_medium_train_250 wrench Detection preview by Segmentation_V11_large_300_train_300 wrench Detection preview by Segmentation_v8_large_300_train_300
Original Image: P05183.jpg
GT: pliers
pliers Detection preview by Box_v11_medium_train_SIXray_OPIXray pliers Detection preview by DN_Medium_300_yolov8m_20t7_new No objects detected Detection preview by Segmentatation_v8_medium_train_250 No objects detected Detection preview by Segmentation_V11_large_300_train_300 No objects detected Detection preview by Segmentation_v8_large_300_train_300
Original Image: P05184.jpg
GT: pliers
pliers Detection preview by Box_v11_medium_train_SIXray_OPIXray No objects detected Detection preview by DN_Medium_300_yolov8m_20t7_new No objects detected Detection preview by Segmentatation_v8_medium_train_250 No objects detected Detection preview by Segmentation_V11_large_300_train_300 No objects detected Detection preview by Segmentation_v8_large_300_train_300
Original Image: P05185.jpg
GT: pliers
pliers Detection preview by Box_v11_medium_train_SIXray_OPIXray No objects detected Detection preview by DN_Medium_300_yolov8m_20t7_new No objects detected Detection preview by Segmentatation_v8_medium_train_250 No objects detected Detection preview by Segmentation_V11_large_300_train_300 No objects detected Detection preview by Segmentation_v8_large_300_train_300
Original Image: P05186.jpg
GT: pliers
pliers Detection preview by Box_v11_medium_train_SIXray_OPIXray No objects detected Detection preview by DN_Medium_300_yolov8m_20t7_new No objects detected Detection preview by Segmentatation_v8_medium_train_250 No objects detected Detection preview by Segmentation_V11_large_300_train_300 No objects detected Detection preview by Segmentation_v8_large_300_train_300
Original Image: P05187.jpg
GT: pliers
pliers Detection preview by Box_v11_medium_train_SIXray_OPIXray pliers Detection preview by DN_Medium_300_yolov8m_20t7_new No objects detected Detection preview by Segmentatation_v8_medium_train_250 No objects detected Detection preview by Segmentation_V11_large_300_train_300 No objects detected Detection preview by Segmentation_v8_large_300_train_300
Original Image: P05188.jpg
GT: pliers
pliers Detection preview by Box_v11_medium_train_SIXray_OPIXray No objects detected Detection preview by DN_Medium_300_yolov8m_20t7_new No objects detected Detection preview by Segmentatation_v8_medium_train_250 No objects detected Detection preview by Segmentation_V11_large_300_train_300 No objects detected Detection preview by Segmentation_v8_large_300_train_300
Original Image: P05189.jpg
GT: scissors
scissor Detection preview by Box_v11_medium_train_SIXray_OPIXray No objects detected Detection preview by DN_Medium_300_yolov8m_20t7_new scissor Detection preview by Segmentatation_v8_medium_train_250 scissor Detection preview by Segmentation_V11_large_300_train_300 scissor Detection preview by Segmentation_v8_large_300_train_300
Original Image: P05190.jpg
GT: scissors
scissor Detection preview by Box_v11_medium_train_SIXray_OPIXray No objects detected Detection preview by DN_Medium_300_yolov8m_20t7_new scissor Detection preview by Segmentatation_v8_medium_train_250 scissor Detection preview by Segmentation_V11_large_300_train_300 scissor Detection preview by Segmentation_v8_large_300_train_300
Original Image: P05191.jpg
GT: scissors
scissor Detection preview by Box_v11_medium_train_SIXray_OPIXray No objects detected Detection preview by DN_Medium_300_yolov8m_20t7_new scissor Detection preview by Segmentatation_v8_medium_train_250 scissor Detection preview by Segmentation_V11_large_300_train_300 scissor Detection preview by Segmentation_v8_large_300_train_300
Original Image: P05192.jpg
GT: scissors
scissor Detection preview by Box_v11_medium_train_SIXray_OPIXray No objects detected Detection preview by DN_Medium_300_yolov8m_20t7_new scissor Detection preview by Segmentatation_v8_medium_train_250 scissor Detection preview by Segmentation_V11_large_300_train_300 scissor Detection preview by Segmentation_v8_large_300_train_300
Original Image: P05193.jpg
GT: scissors
scissor Detection preview by Box_v11_medium_train_SIXray_OPIXray No objects detected Detection preview by DN_Medium_300_yolov8m_20t7_new scissor Detection preview by Segmentatation_v8_medium_train_250 scissor Detection preview by Segmentation_V11_large_300_train_300 scissor Detection preview by Segmentation_v8_large_300_train_300
Original Image: P05194.jpg
GT: pliers, wrench
pliers, wrench Detection preview by Box_v11_medium_train_SIXray_OPIXray pliers Detection preview by DN_Medium_300_yolov8m_20t7_new wrench Detection preview by Segmentatation_v8_medium_train_250 wrench Detection preview by Segmentation_V11_large_300_train_300 wrench Detection preview by Segmentation_v8_large_300_train_300
Original Image: P05195.jpg
GT: pliers
pliers Detection preview by Box_v11_medium_train_SIXray_OPIXray No objects detected Detection preview by DN_Medium_300_yolov8m_20t7_new No objects detected Detection preview by Segmentatation_v8_medium_train_250 No objects detected Detection preview by Segmentation_V11_large_300_train_300 No objects detected Detection preview by Segmentation_v8_large_300_train_300
Original Image: P05196.jpg
GT: pliers
pliers Detection preview by Box_v11_medium_train_SIXray_OPIXray No objects detected Detection preview by DN_Medium_300_yolov8m_20t7_new No objects detected Detection preview by Segmentatation_v8_medium_train_250 No objects detected Detection preview by Segmentation_V11_large_300_train_300 No objects detected Detection preview by Segmentation_v8_large_300_train_300
Original Image: P05197.jpg
GT: pliers
pliers Detection preview by Box_v11_medium_train_SIXray_OPIXray No objects detected Detection preview by DN_Medium_300_yolov8m_20t7_new No objects detected Detection preview by Segmentatation_v8_medium_train_250 No objects detected Detection preview by Segmentation_V11_large_300_train_300 No objects detected Detection preview by Segmentation_v8_large_300_train_300
Original Image: P05198.jpg
GT: pliers
pliers Detection preview by Box_v11_medium_train_SIXray_OPIXray No objects detected Detection preview by DN_Medium_300_yolov8m_20t7_new No objects detected Detection preview by Segmentatation_v8_medium_train_250 No objects detected Detection preview by Segmentation_V11_large_300_train_300 No objects detected Detection preview by Segmentation_v8_large_300_train_300
Original Image: P05199.jpg
GT: pliers
pliers Detection preview by Box_v11_medium_train_SIXray_OPIXray No objects detected Detection preview by DN_Medium_300_yolov8m_20t7_new No objects detected Detection preview by Segmentatation_v8_medium_train_250 No objects detected Detection preview by Segmentation_V11_large_300_train_300 No objects detected Detection preview by Segmentation_v8_large_300_train_300
Original Image: P05200.jpg
GT: pliers, wrench
pliers, wrench Detection preview by Box_v11_medium_train_SIXray_OPIXray No objects detected Detection preview by DN_Medium_300_yolov8m_20t7_new wrench Detection preview by Segmentatation_v8_medium_train_250 wrench Detection preview by Segmentation_V11_large_300_train_300 wrench Detection preview by Segmentation_v8_large_300_train_300
Original Image: P05201.jpg
GT: pliers, wrench
pliers, wrench Detection preview by Box_v11_medium_train_SIXray_OPIXray No objects detected Detection preview by DN_Medium_300_yolov8m_20t7_new wrench Detection preview by Segmentatation_v8_medium_train_250 wrench Detection preview by Segmentation_V11_large_300_train_300 wrench Detection preview by Segmentation_v8_large_300_train_300
Original Image: P05202.jpg
GT: pliers, wrench
pliers, wrench Detection preview by Box_v11_medium_train_SIXray_OPIXray No objects detected Detection preview by DN_Medium_300_yolov8m_20t7_new wrench Detection preview by Segmentatation_v8_medium_train_250 wrench Detection preview by Segmentation_V11_large_300_train_300 wrench Detection preview by Segmentation_v8_large_300_train_300
Original Image: P05203.jpg
GT: pliers, wrench
pliers, wrench Detection preview by Box_v11_medium_train_SIXray_OPIXray No objects detected Detection preview by DN_Medium_300_yolov8m_20t7_new wrench Detection preview by Segmentatation_v8_medium_train_250 wrench Detection preview by Segmentation_V11_large_300_train_300 wrench Detection preview by Segmentation_v8_large_300_train_300
Original Image: P05204.jpg
GT: pliers
pliers Detection preview by Box_v11_medium_train_SIXray_OPIXray No objects detected Detection preview by DN_Medium_300_yolov8m_20t7_new No objects detected Detection preview by Segmentatation_v8_medium_train_250 No objects detected Detection preview by Segmentation_V11_large_300_train_300 No objects detected Detection preview by Segmentation_v8_large_300_train_300
Original Image: P05205.jpg
GT: pliers, wrench
pliers, wrench Detection preview by Box_v11_medium_train_SIXray_OPIXray No objects detected Detection preview by DN_Medium_300_yolov8m_20t7_new wrench Detection preview by Segmentatation_v8_medium_train_250 wrench Detection preview by Segmentation_V11_large_300_train_300 wrench Detection preview by Segmentation_v8_large_300_train_300
Original Image: P05206.jpg
GT: pliers
pliers Detection preview by Box_v11_medium_train_SIXray_OPIXray No objects detected Detection preview by DN_Medium_300_yolov8m_20t7_new No objects detected Detection preview by Segmentatation_v8_medium_train_250 No objects detected Detection preview by Segmentation_V11_large_300_train_300 No objects detected Detection preview by Segmentation_v8_large_300_train_300
Original Image: P05207.jpg
GT: pliers
pliers Detection preview by Box_v11_medium_train_SIXray_OPIXray pliers Detection preview by DN_Medium_300_yolov8m_20t7_new No objects detected Detection preview by Segmentatation_v8_medium_train_250 No objects detected Detection preview by Segmentation_V11_large_300_train_300 No objects detected Detection preview by Segmentation_v8_large_300_train_300
Original Image: P05208.jpg
GT: pliers
pliers Detection preview by Box_v11_medium_train_SIXray_OPIXray pliers Detection preview by DN_Medium_300_yolov8m_20t7_new No objects detected Detection preview by Segmentatation_v8_medium_train_250 No objects detected Detection preview by Segmentation_V11_large_300_train_300 No objects detected Detection preview by Segmentation_v8_large_300_train_300
Original Image: P05209.jpg
GT: pliers
pliers Detection preview by Box_v11_medium_train_SIXray_OPIXray pliers Detection preview by DN_Medium_300_yolov8m_20t7_new No objects detected Detection preview by Segmentatation_v8_medium_train_250 No objects detected Detection preview by Segmentation_V11_large_300_train_300 No objects detected Detection preview by Segmentation_v8_large_300_train_300
Original Image: P05210.jpg
GT: pliers
pliers Detection preview by Box_v11_medium_train_SIXray_OPIXray No objects detected Detection preview by DN_Medium_300_yolov8m_20t7_new No objects detected Detection preview by Segmentatation_v8_medium_train_250 No objects detected Detection preview by Segmentation_V11_large_300_train_300 No objects detected Detection preview by Segmentation_v8_large_300_train_300
Original Image: P05211.jpg
GT: pliers
pliers Detection preview by Box_v11_medium_train_SIXray_OPIXray pliers Detection preview by DN_Medium_300_yolov8m_20t7_new No objects detected Detection preview by Segmentatation_v8_medium_train_250 No objects detected Detection preview by Segmentation_V11_large_300_train_300 No objects detected Detection preview by Segmentation_v8_large_300_train_300
Original Image: P05212.jpg
GT: wrench
wrench Detection preview by Box_v11_medium_train_SIXray_OPIXray No objects detected Detection preview by DN_Medium_300_yolov8m_20t7_new wrench Detection preview by Segmentatation_v8_medium_train_250 wrench Detection preview by Segmentation_V11_large_300_train_300 wrench Detection preview by Segmentation_v8_large_300_train_300
Original Image: P05213.jpg
GT: scissors
scissor Detection preview by Box_v11_medium_train_SIXray_OPIXray No objects detected Detection preview by DN_Medium_300_yolov8m_20t7_new scissor Detection preview by Segmentatation_v8_medium_train_250 scissor Detection preview by Segmentation_V11_large_300_train_300 scissor Detection preview by Segmentation_v8_large_300_train_300
Original Image: P05214.jpg
GT: pliers
pliers Detection preview by Box_v11_medium_train_SIXray_OPIXray No objects detected Detection preview by DN_Medium_300_yolov8m_20t7_new No objects detected Detection preview by Segmentatation_v8_medium_train_250 No objects detected Detection preview by Segmentation_V11_large_300_train_300 No objects detected Detection preview by Segmentation_v8_large_300_train_300
Original Image: P05215.jpg
GT: pliers
pliers Detection preview by Box_v11_medium_train_SIXray_OPIXray No objects detected Detection preview by DN_Medium_300_yolov8m_20t7_new No objects detected Detection preview by Segmentatation_v8_medium_train_250 No objects detected Detection preview by Segmentation_V11_large_300_train_300 No objects detected Detection preview by Segmentation_v8_large_300_train_300
Original Image: P05216.jpg
GT: pliers, wrench
pliers, wrench Detection preview by Box_v11_medium_train_SIXray_OPIXray No objects detected Detection preview by DN_Medium_300_yolov8m_20t7_new wrench Detection preview by Segmentatation_v8_medium_train_250 wrench Detection preview by Segmentation_V11_large_300_train_300 wrench Detection preview by Segmentation_v8_large_300_train_300
Original Image: P05217.jpg
GT: pliers, wrench
pliers, wrench Detection preview by Box_v11_medium_train_SIXray_OPIXray No objects detected Detection preview by DN_Medium_300_yolov8m_20t7_new wrench Detection preview by Segmentatation_v8_medium_train_250 wrench Detection preview by Segmentation_V11_large_300_train_300 wrench Detection preview by Segmentation_v8_large_300_train_300
Original Image: P05218.jpg
GT: pliers
pliers Detection preview by Box_v11_medium_train_SIXray_OPIXray pliers Detection preview by DN_Medium_300_yolov8m_20t7_new No objects detected Detection preview by Segmentatation_v8_medium_train_250 No objects detected Detection preview by Segmentation_V11_large_300_train_300 No objects detected Detection preview by Segmentation_v8_large_300_train_300
Original Image: P05219.jpg
GT: pliers
pliers Detection preview by Box_v11_medium_train_SIXray_OPIXray No objects detected Detection preview by DN_Medium_300_yolov8m_20t7_new No objects detected Detection preview by Segmentatation_v8_medium_train_250 No objects detected Detection preview by Segmentation_V11_large_300_train_300 No objects detected Detection preview by Segmentation_v8_large_300_train_300
Original Image: P05220.jpg
GT: wrench
wrench Detection preview by Box_v11_medium_train_SIXray_OPIXray No objects detected Detection preview by DN_Medium_300_yolov8m_20t7_new wrench Detection preview by Segmentatation_v8_medium_train_250 wrench Detection preview by Segmentation_V11_large_300_train_300 wrench Detection preview by Segmentation_v8_large_300_train_300
Original Image: P05221.jpg
GT: pliers
pliers Detection preview by Box_v11_medium_train_SIXray_OPIXray No objects detected Detection preview by DN_Medium_300_yolov8m_20t7_new No objects detected Detection preview by Segmentatation_v8_medium_train_250 No objects detected Detection preview by Segmentation_V11_large_300_train_300 No objects detected Detection preview by Segmentation_v8_large_300_train_300
Original Image: P05222.jpg
GT: pliers, wrench
pliers, wrench Detection preview by Box_v11_medium_train_SIXray_OPIXray pliers Detection preview by DN_Medium_300_yolov8m_20t7_new wrench Detection preview by Segmentatation_v8_medium_train_250 wrench Detection preview by Segmentation_V11_large_300_train_300 wrench Detection preview by Segmentation_v8_large_300_train_300
Original Image: P05223.jpg
GT: pliers, wrench
pliers, wrench Detection preview by Box_v11_medium_train_SIXray_OPIXray pliers Detection preview by DN_Medium_300_yolov8m_20t7_new wrench Detection preview by Segmentatation_v8_medium_train_250 wrench Detection preview by Segmentation_V11_large_300_train_300 wrench Detection preview by Segmentation_v8_large_300_train_300
Original Image: P05224.jpg
GT: pliers, wrench
pliers, wrench Detection preview by Box_v11_medium_train_SIXray_OPIXray pliers Detection preview by DN_Medium_300_yolov8m_20t7_new wrench Detection preview by Segmentatation_v8_medium_train_250 wrench Detection preview by Segmentation_V11_large_300_train_300 wrench Detection preview by Segmentation_v8_large_300_train_300
Original Image: P05225.jpg
GT: pliers, wrench
pliers, wrench Detection preview by Box_v11_medium_train_SIXray_OPIXray No objects detected Detection preview by DN_Medium_300_yolov8m_20t7_new wrench Detection preview by Segmentatation_v8_medium_train_250 wrench Detection preview by Segmentation_V11_large_300_train_300 wrench Detection preview by Segmentation_v8_large_300_train_300
Original Image: P05226.jpg
GT: pliers, wrench
pliers, wrench Detection preview by Box_v11_medium_train_SIXray_OPIXray No objects detected Detection preview by DN_Medium_300_yolov8m_20t7_new wrench Detection preview by Segmentatation_v8_medium_train_250 wrench Detection preview by Segmentation_V11_large_300_train_300 wrench Detection preview by Segmentation_v8_large_300_train_300
Original Image: P05227.jpg
GT: pliers, wrench
pliers, wrench Detection preview by Box_v11_medium_train_SIXray_OPIXray No objects detected Detection preview by DN_Medium_300_yolov8m_20t7_new wrench Detection preview by Segmentatation_v8_medium_train_250 wrench Detection preview by Segmentation_V11_large_300_train_300 wrench Detection preview by Segmentation_v8_large_300_train_300
Original Image: P05228.jpg
GT: scissors
scissor Detection preview by Box_v11_medium_train_SIXray_OPIXray scissor Detection preview by DN_Medium_300_yolov8m_20t7_new scissor Detection preview by Segmentatation_v8_medium_train_250 scissor Detection preview by Segmentation_V11_large_300_train_300 scissor Detection preview by Segmentation_v8_large_300_train_300
Original Image: P05229.jpg
GT: scissors
scissor Detection preview by Box_v11_medium_train_SIXray_OPIXray scissor Detection preview by DN_Medium_300_yolov8m_20t7_new scissor Detection preview by Segmentatation_v8_medium_train_250 scissor Detection preview by Segmentation_V11_large_300_train_300 scissor Detection preview by Segmentation_v8_large_300_train_300
Original Image: P05230.jpg
GT: scissors
scissor Detection preview by Box_v11_medium_train_SIXray_OPIXray scissor Detection preview by DN_Medium_300_yolov8m_20t7_new scissor Detection preview by Segmentatation_v8_medium_train_250 scissor Detection preview by Segmentation_V11_large_300_train_300 scissor Detection preview by Segmentation_v8_large_300_train_300
Original Image: P05231.jpg
GT: scissors
scissor Detection preview by Box_v11_medium_train_SIXray_OPIXray scissor Detection preview by DN_Medium_300_yolov8m_20t7_new scissor Detection preview by Segmentatation_v8_medium_train_250 scissor Detection preview by Segmentation_V11_large_300_train_300 scissor Detection preview by Segmentation_v8_large_300_train_300
Original Image: P05232.jpg
GT: pliers
pliers Detection preview by Box_v11_medium_train_SIXray_OPIXray No objects detected Detection preview by DN_Medium_300_yolov8m_20t7_new No objects detected Detection preview by Segmentatation_v8_medium_train_250 No objects detected Detection preview by Segmentation_V11_large_300_train_300 No objects detected Detection preview by Segmentation_v8_large_300_train_300
Original Image: P05233.jpg
GT: pliers
pliers Detection preview by Box_v11_medium_train_SIXray_OPIXray No objects detected Detection preview by DN_Medium_300_yolov8m_20t7_new No objects detected Detection preview by Segmentatation_v8_medium_train_250 No objects detected Detection preview by Segmentation_V11_large_300_train_300 No objects detected Detection preview by Segmentation_v8_large_300_train_300
Original Image: P05234.jpg
GT: pliers
pliers Detection preview by Box_v11_medium_train_SIXray_OPIXray No objects detected Detection preview by DN_Medium_300_yolov8m_20t7_new No objects detected Detection preview by Segmentatation_v8_medium_train_250 No objects detected Detection preview by Segmentation_V11_large_300_train_300 No objects detected Detection preview by Segmentation_v8_large_300_train_300
Original Image: P05235.jpg
GT: pliers
pliers Detection preview by Box_v11_medium_train_SIXray_OPIXray No objects detected Detection preview by DN_Medium_300_yolov8m_20t7_new No objects detected Detection preview by Segmentatation_v8_medium_train_250 No objects detected Detection preview by Segmentation_V11_large_300_train_300 No objects detected Detection preview by Segmentation_v8_large_300_train_300
Original Image: P05236.jpg
GT: pliers
pliers Detection preview by Box_v11_medium_train_SIXray_OPIXray No objects detected Detection preview by DN_Medium_300_yolov8m_20t7_new No objects detected Detection preview by Segmentatation_v8_medium_train_250 No objects detected Detection preview by Segmentation_V11_large_300_train_300 No objects detected Detection preview by Segmentation_v8_large_300_train_300
Original Image: P05237.jpg
GT: wrench
wrench Detection preview by Box_v11_medium_train_SIXray_OPIXray No objects detected Detection preview by DN_Medium_300_yolov8m_20t7_new wrench Detection preview by Segmentatation_v8_medium_train_250 wrench Detection preview by Segmentation_V11_large_300_train_300 wrench Detection preview by Segmentation_v8_large_300_train_300
Original Image: P05238.jpg
GT: pliers
pliers Detection preview by Box_v11_medium_train_SIXray_OPIXray No objects detected Detection preview by DN_Medium_300_yolov8m_20t7_new No objects detected Detection preview by Segmentatation_v8_medium_train_250 No objects detected Detection preview by Segmentation_V11_large_300_train_300 No objects detected Detection preview by Segmentation_v8_large_300_train_300
Original Image: P05239.jpg
GT: pliers
pliers Detection preview by Box_v11_medium_train_SIXray_OPIXray No objects detected Detection preview by DN_Medium_300_yolov8m_20t7_new No objects detected Detection preview by Segmentatation_v8_medium_train_250 No objects detected Detection preview by Segmentation_V11_large_300_train_300 No objects detected Detection preview by Segmentation_v8_large_300_train_300
Original Image: P05240.jpg
GT: pliers
pliers Detection preview by Box_v11_medium_train_SIXray_OPIXray No objects detected Detection preview by DN_Medium_300_yolov8m_20t7_new No objects detected Detection preview by Segmentatation_v8_medium_train_250 No objects detected Detection preview by Segmentation_V11_large_300_train_300 No objects detected Detection preview by Segmentation_v8_large_300_train_300
Original Image: P05241.jpg
GT: pliers, wrench
pliers, wrench Detection preview by Box_v11_medium_train_SIXray_OPIXray No objects detected Detection preview by DN_Medium_300_yolov8m_20t7_new wrench Detection preview by Segmentatation_v8_medium_train_250 wrench Detection preview by Segmentation_V11_large_300_train_300 wrench Detection preview by Segmentation_v8_large_300_train_300
Original Image: P05242.jpg
GT: pliers, wrench
pliers, wrench Detection preview by Box_v11_medium_train_SIXray_OPIXray No objects detected Detection preview by DN_Medium_300_yolov8m_20t7_new wrench Detection preview by Segmentatation_v8_medium_train_250 wrench Detection preview by Segmentation_V11_large_300_train_300 wrench Detection preview by Segmentation_v8_large_300_train_300
Original Image: P05243.jpg
GT: pliers, wrench
pliers, wrench Detection preview by Box_v11_medium_train_SIXray_OPIXray No objects detected Detection preview by DN_Medium_300_yolov8m_20t7_new wrench Detection preview by Segmentatation_v8_medium_train_250 wrench Detection preview by Segmentation_V11_large_300_train_300 wrench Detection preview by Segmentation_v8_large_300_train_300
Original Image: P05244.jpg
GT: pliers
pliers Detection preview by Box_v11_medium_train_SIXray_OPIXray No objects detected Detection preview by DN_Medium_300_yolov8m_20t7_new No objects detected Detection preview by Segmentatation_v8_medium_train_250 No objects detected Detection preview by Segmentation_V11_large_300_train_300 No objects detected Detection preview by Segmentation_v8_large_300_train_300
Original Image: P05245.jpg
GT: wrench
wrench Detection preview by Box_v11_medium_train_SIXray_OPIXray No objects detected Detection preview by DN_Medium_300_yolov8m_20t7_new wrench Detection preview by Segmentatation_v8_medium_train_250 wrench Detection preview by Segmentation_V11_large_300_train_300 wrench Detection preview by Segmentation_v8_large_300_train_300
Original Image: P05246.jpg
GT: pliers
pliers Detection preview by Box_v11_medium_train_SIXray_OPIXray No objects detected Detection preview by DN_Medium_300_yolov8m_20t7_new No objects detected Detection preview by Segmentatation_v8_medium_train_250 No objects detected Detection preview by Segmentation_V11_large_300_train_300 No objects detected Detection preview by Segmentation_v8_large_300_train_300
Original Image: P05247.jpg
GT: pliers
pliers Detection preview by Box_v11_medium_train_SIXray_OPIXray pliers Detection preview by DN_Medium_300_yolov8m_20t7_new No objects detected Detection preview by Segmentatation_v8_medium_train_250 No objects detected Detection preview by Segmentation_V11_large_300_train_300 No objects detected Detection preview by Segmentation_v8_large_300_train_300
Original Image: P05248.jpg
GT: pliers
pliers Detection preview by Box_v11_medium_train_SIXray_OPIXray No objects detected Detection preview by DN_Medium_300_yolov8m_20t7_new No objects detected Detection preview by Segmentatation_v8_medium_train_250 No objects detected Detection preview by Segmentation_V11_large_300_train_300 No objects detected Detection preview by Segmentation_v8_large_300_train_300
Original Image: P05249.jpg
GT: knife
knife Detection preview by Box_v11_medium_train_SIXray_OPIXray No objects detected Detection preview by DN_Medium_300_yolov8m_20t7_new No objects detected Detection preview by Segmentatation_v8_medium_train_250 No objects detected Detection preview by Segmentation_V11_large_300_train_300 No objects detected Detection preview by Segmentation_v8_large_300_train_300
Original Image: P05250.jpg
GT: pliers
pliers Detection preview by Box_v11_medium_train_SIXray_OPIXray No objects detected Detection preview by DN_Medium_300_yolov8m_20t7_new No objects detected Detection preview by Segmentatation_v8_medium_train_250 No objects detected Detection preview by Segmentation_V11_large_300_train_300 No objects detected Detection preview by Segmentation_v8_large_300_train_300
Original Image: P05251.jpg
GT: pliers
pliers Detection preview by Box_v11_medium_train_SIXray_OPIXray No objects detected Detection preview by DN_Medium_300_yolov8m_20t7_new No objects detected Detection preview by Segmentatation_v8_medium_train_250 No objects detected Detection preview by Segmentation_V11_large_300_train_300 No objects detected Detection preview by Segmentation_v8_large_300_train_300
Original Image: P05252.jpg
GT: pliers
pliers Detection preview by Box_v11_medium_train_SIXray_OPIXray No objects detected Detection preview by DN_Medium_300_yolov8m_20t7_new No objects detected Detection preview by Segmentatation_v8_medium_train_250 No objects detected Detection preview by Segmentation_V11_large_300_train_300 No objects detected Detection preview by Segmentation_v8_large_300_train_300
Original Image: P05253.jpg
GT: pliers
pliers Detection preview by Box_v11_medium_train_SIXray_OPIXray No objects detected Detection preview by DN_Medium_300_yolov8m_20t7_new No objects detected Detection preview by Segmentatation_v8_medium_train_250 No objects detected Detection preview by Segmentation_V11_large_300_train_300 No objects detected Detection preview by Segmentation_v8_large_300_train_300
Original Image: P05254.jpg
GT: pliers, wrench
pliers, wrench Detection preview by Box_v11_medium_train_SIXray_OPIXray No objects detected Detection preview by DN_Medium_300_yolov8m_20t7_new wrench Detection preview by Segmentatation_v8_medium_train_250 wrench Detection preview by Segmentation_V11_large_300_train_300 wrench Detection preview by Segmentation_v8_large_300_train_300
Original Image: P05255.jpg
GT: pliers, wrench
pliers, wrench Detection preview by Box_v11_medium_train_SIXray_OPIXray No objects detected Detection preview by DN_Medium_300_yolov8m_20t7_new wrench Detection preview by Segmentatation_v8_medium_train_250 wrench Detection preview by Segmentation_V11_large_300_train_300 wrench Detection preview by Segmentation_v8_large_300_train_300
Original Image: P05256.jpg
GT: pliers, wrench
pliers, wrench Detection preview by Box_v11_medium_train_SIXray_OPIXray No objects detected Detection preview by DN_Medium_300_yolov8m_20t7_new wrench Detection preview by Segmentatation_v8_medium_train_250 wrench Detection preview by Segmentation_V11_large_300_train_300 wrench Detection preview by Segmentation_v8_large_300_train_300
Original Image: P05257.jpg
GT: scissors
scissor Detection preview by Box_v11_medium_train_SIXray_OPIXray No objects detected Detection preview by DN_Medium_300_yolov8m_20t7_new scissor Detection preview by Segmentatation_v8_medium_train_250 scissor Detection preview by Segmentation_V11_large_300_train_300 scissor Detection preview by Segmentation_v8_large_300_train_300
Original Image: P05258.jpg
GT: scissors
scissor Detection preview by Box_v11_medium_train_SIXray_OPIXray No objects detected Detection preview by DN_Medium_300_yolov8m_20t7_new scissor Detection preview by Segmentatation_v8_medium_train_250 scissor Detection preview by Segmentation_V11_large_300_train_300 scissor Detection preview by Segmentation_v8_large_300_train_300
Original Image: P05259.jpg
GT: scissors
scissor Detection preview by Box_v11_medium_train_SIXray_OPIXray No objects detected Detection preview by DN_Medium_300_yolov8m_20t7_new scissor Detection preview by Segmentatation_v8_medium_train_250 scissor Detection preview by Segmentation_V11_large_300_train_300 scissor Detection preview by Segmentation_v8_large_300_train_300
Original Image: P05260.jpg
GT: scissors
scissor Detection preview by Box_v11_medium_train_SIXray_OPIXray No objects detected Detection preview by DN_Medium_300_yolov8m_20t7_new scissor Detection preview by Segmentatation_v8_medium_train_250 scissor Detection preview by Segmentation_V11_large_300_train_300 scissor Detection preview by Segmentation_v8_large_300_train_300
Original Image: P05261.jpg
GT: pliers
pliers Detection preview by Box_v11_medium_train_SIXray_OPIXray No objects detected Detection preview by DN_Medium_300_yolov8m_20t7_new No objects detected Detection preview by Segmentatation_v8_medium_train_250 No objects detected Detection preview by Segmentation_V11_large_300_train_300 No objects detected Detection preview by Segmentation_v8_large_300_train_300
Original Image: P05262.jpg
GT: scissors
scissor Detection preview by Box_v11_medium_train_SIXray_OPIXray scissor Detection preview by DN_Medium_300_yolov8m_20t7_new scissor Detection preview by Segmentatation_v8_medium_train_250 scissor Detection preview by Segmentation_V11_large_300_train_300 scissor Detection preview by Segmentation_v8_large_300_train_300
Original Image: P05263.jpg
GT: pliers, scissors
pliers, scissor Detection preview by Box_v11_medium_train_SIXray_OPIXray pliers, scissor Detection preview by DN_Medium_300_yolov8m_20t7_new scissor Detection preview by Segmentatation_v8_medium_train_250 scissor Detection preview by Segmentation_V11_large_300_train_300 scissor Detection preview by Segmentation_v8_large_300_train_300
Original Image: P05264.jpg
GT: pliers, scissors
pliers, scissor Detection preview by Box_v11_medium_train_SIXray_OPIXray pliers, scissor Detection preview by DN_Medium_300_yolov8m_20t7_new scissor Detection preview by Segmentatation_v8_medium_train_250 scissor Detection preview by Segmentation_V11_large_300_train_300 scissor Detection preview by Segmentation_v8_large_300_train_300
Original Image: P05265.jpg
GT: pliers, wrench
pliers, wrench Detection preview by Box_v11_medium_train_SIXray_OPIXray No objects detected Detection preview by DN_Medium_300_yolov8m_20t7_new wrench Detection preview by Segmentatation_v8_medium_train_250 wrench Detection preview by Segmentation_V11_large_300_train_300 wrench Detection preview by Segmentation_v8_large_300_train_300
Original Image: P05266.jpg
GT: pliers, wrench
pliers, wrench Detection preview by Box_v11_medium_train_SIXray_OPIXray No objects detected Detection preview by DN_Medium_300_yolov8m_20t7_new wrench Detection preview by Segmentatation_v8_medium_train_250 wrench Detection preview by Segmentation_V11_large_300_train_300 wrench Detection preview by Segmentation_v8_large_300_train_300
Original Image: P05267.jpg
GT: pliers, wrench
pliers, wrench Detection preview by Box_v11_medium_train_SIXray_OPIXray No objects detected Detection preview by DN_Medium_300_yolov8m_20t7_new wrench Detection preview by Segmentatation_v8_medium_train_250 wrench Detection preview by Segmentation_V11_large_300_train_300 wrench Detection preview by Segmentation_v8_large_300_train_300
Original Image: P05268.jpg
GT: pliers, wrench
pliers, wrench Detection preview by Box_v11_medium_train_SIXray_OPIXray No objects detected Detection preview by DN_Medium_300_yolov8m_20t7_new wrench Detection preview by Segmentatation_v8_medium_train_250 wrench Detection preview by Segmentation_V11_large_300_train_300 wrench Detection preview by Segmentation_v8_large_300_train_300
Original Image: P05269.jpg
GT: pliers, wrench
pliers, wrench Detection preview by Box_v11_medium_train_SIXray_OPIXray No objects detected Detection preview by DN_Medium_300_yolov8m_20t7_new wrench Detection preview by Segmentatation_v8_medium_train_250 wrench Detection preview by Segmentation_V11_large_300_train_300 wrench Detection preview by Segmentation_v8_large_300_train_300
Original Image: P05270.jpg
GT: wrench
wrench Detection preview by Box_v11_medium_train_SIXray_OPIXray pliers Detection preview by DN_Medium_300_yolov8m_20t7_new wrench Detection preview by Segmentatation_v8_medium_train_250 wrench Detection preview by Segmentation_V11_large_300_train_300 wrench Detection preview by Segmentation_v8_large_300_train_300
Original Image: P05271.jpg
GT: wrench
wrench Detection preview by Box_v11_medium_train_SIXray_OPIXray pliers Detection preview by DN_Medium_300_yolov8m_20t7_new wrench Detection preview by Segmentatation_v8_medium_train_250 wrench Detection preview by Segmentation_V11_large_300_train_300 wrench Detection preview by Segmentation_v8_large_300_train_300
Original Image: P05272.jpg
GT: pliers
pliers Detection preview by Box_v11_medium_train_SIXray_OPIXray pliers Detection preview by DN_Medium_300_yolov8m_20t7_new No objects detected Detection preview by Segmentatation_v8_medium_train_250 No objects detected Detection preview by Segmentation_V11_large_300_train_300 No objects detected Detection preview by Segmentation_v8_large_300_train_300
Original Image: P05273.jpg
GT: pliers
pliers Detection preview by Box_v11_medium_train_SIXray_OPIXray No objects detected Detection preview by DN_Medium_300_yolov8m_20t7_new No objects detected Detection preview by Segmentatation_v8_medium_train_250 No objects detected Detection preview by Segmentation_V11_large_300_train_300 No objects detected Detection preview by Segmentation_v8_large_300_train_300
Original Image: P05274.jpg
GT: scissors
scissor Detection preview by Box_v11_medium_train_SIXray_OPIXray scissor Detection preview by DN_Medium_300_yolov8m_20t7_new scissor Detection preview by Segmentatation_v8_medium_train_250 scissor Detection preview by Segmentation_V11_large_300_train_300 scissor Detection preview by Segmentation_v8_large_300_train_300
Original Image: P05275.jpg
GT: scissors
scissor Detection preview by Box_v11_medium_train_SIXray_OPIXray scissor Detection preview by DN_Medium_300_yolov8m_20t7_new scissor Detection preview by Segmentatation_v8_medium_train_250 scissor Detection preview by Segmentation_V11_large_300_train_300 scissor Detection preview by Segmentation_v8_large_300_train_300
Original Image: P05276.jpg
GT: scissors
scissor Detection preview by Box_v11_medium_train_SIXray_OPIXray scissor Detection preview by DN_Medium_300_yolov8m_20t7_new scissor Detection preview by Segmentatation_v8_medium_train_250 scissor Detection preview by Segmentation_V11_large_300_train_300 scissor Detection preview by Segmentation_v8_large_300_train_300
Original Image: P05277.jpg
GT: scissors
scissor Detection preview by Box_v11_medium_train_SIXray_OPIXray scissor Detection preview by DN_Medium_300_yolov8m_20t7_new scissor Detection preview by Segmentatation_v8_medium_train_250 scissor Detection preview by Segmentation_V11_large_300_train_300 scissor Detection preview by Segmentation_v8_large_300_train_300
Original Image: P05278.jpg
GT: scissors
scissor Detection preview by Box_v11_medium_train_SIXray_OPIXray No objects detected Detection preview by DN_Medium_300_yolov8m_20t7_new scissor Detection preview by Segmentatation_v8_medium_train_250 scissor Detection preview by Segmentation_V11_large_300_train_300 scissor Detection preview by Segmentation_v8_large_300_train_300
Original Image: P05279.jpg
GT: pliers
pliers Detection preview by Box_v11_medium_train_SIXray_OPIXray pliers Detection preview by DN_Medium_300_yolov8m_20t7_new No objects detected Detection preview by Segmentatation_v8_medium_train_250 No objects detected Detection preview by Segmentation_V11_large_300_train_300 No objects detected Detection preview by Segmentation_v8_large_300_train_300
Original Image: P05280.jpg
GT: pliers
pliers Detection preview by Box_v11_medium_train_SIXray_OPIXray pliers Detection preview by DN_Medium_300_yolov8m_20t7_new No objects detected Detection preview by Segmentatation_v8_medium_train_250 No objects detected Detection preview by Segmentation_V11_large_300_train_300 No objects detected Detection preview by Segmentation_v8_large_300_train_300
Original Image: P05281.jpg
GT: pliers, wrench
pliers, wrench Detection preview by Box_v11_medium_train_SIXray_OPIXray No objects detected Detection preview by DN_Medium_300_yolov8m_20t7_new wrench Detection preview by Segmentatation_v8_medium_train_250 wrench Detection preview by Segmentation_V11_large_300_train_300 wrench Detection preview by Segmentation_v8_large_300_train_300
Original Image: P05282.jpg
GT: pliers, wrench
pliers, wrench Detection preview by Box_v11_medium_train_SIXray_OPIXray No objects detected Detection preview by DN_Medium_300_yolov8m_20t7_new wrench Detection preview by Segmentatation_v8_medium_train_250 wrench Detection preview by Segmentation_V11_large_300_train_300 wrench Detection preview by Segmentation_v8_large_300_train_300
Original Image: P05283.jpg
GT: scissors
scissor Detection preview by Box_v11_medium_train_SIXray_OPIXray No objects detected Detection preview by DN_Medium_300_yolov8m_20t7_new scissor Detection preview by Segmentatation_v8_medium_train_250 scissor Detection preview by Segmentation_V11_large_300_train_300 scissor Detection preview by Segmentation_v8_large_300_train_300
Original Image: P05284.jpg
GT: scissors
scissor Detection preview by Box_v11_medium_train_SIXray_OPIXray No objects detected Detection preview by DN_Medium_300_yolov8m_20t7_new scissor Detection preview by Segmentatation_v8_medium_train_250 scissor Detection preview by Segmentation_V11_large_300_train_300 scissor Detection preview by Segmentation_v8_large_300_train_300
Original Image: P05285.jpg
GT: wrench
wrench Detection preview by Box_v11_medium_train_SIXray_OPIXray pliers Detection preview by DN_Medium_300_yolov8m_20t7_new wrench Detection preview by Segmentatation_v8_medium_train_250 wrench Detection preview by Segmentation_V11_large_300_train_300 wrench Detection preview by Segmentation_v8_large_300_train_300
Original Image: P05286.jpg
GT: wrench
wrench Detection preview by Box_v11_medium_train_SIXray_OPIXray No objects detected Detection preview by DN_Medium_300_yolov8m_20t7_new wrench Detection preview by Segmentatation_v8_medium_train_250 wrench Detection preview by Segmentation_V11_large_300_train_300 wrench Detection preview by Segmentation_v8_large_300_train_300
Original Image: P05287.jpg
GT: pliers, wrench
pliers, wrench Detection preview by Box_v11_medium_train_SIXray_OPIXray pliers Detection preview by DN_Medium_300_yolov8m_20t7_new wrench Detection preview by Segmentatation_v8_medium_train_250 wrench Detection preview by Segmentation_V11_large_300_train_300 wrench Detection preview by Segmentation_v8_large_300_train_300
Original Image: P05288.jpg
GT: pliers, wrench
pliers, wrench Detection preview by Box_v11_medium_train_SIXray_OPIXray pliers Detection preview by DN_Medium_300_yolov8m_20t7_new wrench Detection preview by Segmentatation_v8_medium_train_250 wrench Detection preview by Segmentation_V11_large_300_train_300 wrench Detection preview by Segmentation_v8_large_300_train_300
Original Image: P05289.jpg
GT: pliers, wrench
pliers, wrench Detection preview by Box_v11_medium_train_SIXray_OPIXray No objects detected Detection preview by DN_Medium_300_yolov8m_20t7_new wrench Detection preview by Segmentatation_v8_medium_train_250 wrench Detection preview by Segmentation_V11_large_300_train_300 wrench Detection preview by Segmentation_v8_large_300_train_300
Original Image: P05290.jpg
GT: pliers, wrench
pliers, wrench Detection preview by Box_v11_medium_train_SIXray_OPIXray No objects detected Detection preview by DN_Medium_300_yolov8m_20t7_new wrench Detection preview by Segmentatation_v8_medium_train_250 wrench Detection preview by Segmentation_V11_large_300_train_300 wrench Detection preview by Segmentation_v8_large_300_train_300
Original Image: P05291.jpg
GT: wrench
wrench Detection preview by Box_v11_medium_train_SIXray_OPIXray No objects detected Detection preview by DN_Medium_300_yolov8m_20t7_new wrench Detection preview by Segmentatation_v8_medium_train_250 wrench Detection preview by Segmentation_V11_large_300_train_300 wrench Detection preview by Segmentation_v8_large_300_train_300
Original Image: P05292.jpg
GT: wrench
wrench Detection preview by Box_v11_medium_train_SIXray_OPIXray No objects detected Detection preview by DN_Medium_300_yolov8m_20t7_new wrench Detection preview by Segmentatation_v8_medium_train_250 wrench Detection preview by Segmentation_V11_large_300_train_300 wrench Detection preview by Segmentation_v8_large_300_train_300
Original Image: P05293.jpg
GT: pliers, wrench
pliers, wrench Detection preview by Box_v11_medium_train_SIXray_OPIXray No objects detected Detection preview by DN_Medium_300_yolov8m_20t7_new wrench Detection preview by Segmentatation_v8_medium_train_250 wrench Detection preview by Segmentation_V11_large_300_train_300 wrench Detection preview by Segmentation_v8_large_300_train_300
Original Image: P05294.jpg
GT: pliers, wrench
pliers, wrench Detection preview by Box_v11_medium_train_SIXray_OPIXray No objects detected Detection preview by DN_Medium_300_yolov8m_20t7_new wrench Detection preview by Segmentatation_v8_medium_train_250 wrench Detection preview by Segmentation_V11_large_300_train_300 wrench Detection preview by Segmentation_v8_large_300_train_300
Original Image: P05295.jpg
GT: pliers
pliers Detection preview by Box_v11_medium_train_SIXray_OPIXray No objects detected Detection preview by DN_Medium_300_yolov8m_20t7_new No objects detected Detection preview by Segmentatation_v8_medium_train_250 No objects detected Detection preview by Segmentation_V11_large_300_train_300 No objects detected Detection preview by Segmentation_v8_large_300_train_300
Original Image: P05296.jpg
GT: pliers
pliers Detection preview by Box_v11_medium_train_SIXray_OPIXray pliers Detection preview by DN_Medium_300_yolov8m_20t7_new No objects detected Detection preview by Segmentatation_v8_medium_train_250 No objects detected Detection preview by Segmentation_V11_large_300_train_300 No objects detected Detection preview by Segmentation_v8_large_300_train_300
Original Image: P05297.jpg
GT: pliers
pliers Detection preview by Box_v11_medium_train_SIXray_OPIXray pliers Detection preview by DN_Medium_300_yolov8m_20t7_new No objects detected Detection preview by Segmentatation_v8_medium_train_250 No objects detected Detection preview by Segmentation_V11_large_300_train_300 No objects detected Detection preview by Segmentation_v8_large_300_train_300
Original Image: P05298.jpg
GT: wrench
wrench Detection preview by Box_v11_medium_train_SIXray_OPIXray No objects detected Detection preview by DN_Medium_300_yolov8m_20t7_new wrench Detection preview by Segmentatation_v8_medium_train_250 wrench Detection preview by Segmentation_V11_large_300_train_300 wrench Detection preview by Segmentation_v8_large_300_train_300
Original Image: P05299.jpg
GT: wrench
wrench Detection preview by Box_v11_medium_train_SIXray_OPIXray No objects detected Detection preview by DN_Medium_300_yolov8m_20t7_new wrench Detection preview by Segmentatation_v8_medium_train_250 wrench Detection preview by Segmentation_V11_large_300_train_300 wrench Detection preview by Segmentation_v8_large_300_train_300
Original Image: P05300.jpg
GT: scissors
scissor Detection preview by Box_v11_medium_train_SIXray_OPIXray scissor Detection preview by DN_Medium_300_yolov8m_20t7_new scissor Detection preview by Segmentatation_v8_medium_train_250 scissor Detection preview by Segmentation_V11_large_300_train_300 scissor Detection preview by Segmentation_v8_large_300_train_300
Original Image: P05301.jpg
GT: scissors
scissor Detection preview by Box_v11_medium_train_SIXray_OPIXray scissor Detection preview by DN_Medium_300_yolov8m_20t7_new scissor Detection preview by Segmentatation_v8_medium_train_250 scissor Detection preview by Segmentation_V11_large_300_train_300 scissor Detection preview by Segmentation_v8_large_300_train_300
Original Image: P05302.jpg
GT: pliers
pliers Detection preview by Box_v11_medium_train_SIXray_OPIXray No objects detected Detection preview by DN_Medium_300_yolov8m_20t7_new No objects detected Detection preview by Segmentatation_v8_medium_train_250 No objects detected Detection preview by Segmentation_V11_large_300_train_300 No objects detected Detection preview by Segmentation_v8_large_300_train_300
Original Image: P05303.jpg
GT: pliers, wrench
pliers, wrench Detection preview by Box_v11_medium_train_SIXray_OPIXray No objects detected Detection preview by DN_Medium_300_yolov8m_20t7_new wrench Detection preview by Segmentatation_v8_medium_train_250 wrench Detection preview by Segmentation_V11_large_300_train_300 wrench Detection preview by Segmentation_v8_large_300_train_300
Original Image: P05304.jpg
GT: pliers
pliers Detection preview by Box_v11_medium_train_SIXray_OPIXray No objects detected Detection preview by DN_Medium_300_yolov8m_20t7_new No objects detected Detection preview by Segmentatation_v8_medium_train_250 No objects detected Detection preview by Segmentation_V11_large_300_train_300 No objects detected Detection preview by Segmentation_v8_large_300_train_300
Original Image: P05305.jpg
GT: pliers, wrench
pliers, wrench Detection preview by Box_v11_medium_train_SIXray_OPIXray No objects detected Detection preview by DN_Medium_300_yolov8m_20t7_new wrench Detection preview by Segmentatation_v8_medium_train_250 wrench Detection preview by Segmentation_V11_large_300_train_300 wrench Detection preview by Segmentation_v8_large_300_train_300
Original Image: P05306.jpg
GT: pliers
pliers Detection preview by Box_v11_medium_train_SIXray_OPIXray No objects detected Detection preview by DN_Medium_300_yolov8m_20t7_new wrench Detection preview by Segmentatation_v8_medium_train_250 No objects detected Detection preview by Segmentation_V11_large_300_train_300 wrench Detection preview by Segmentation_v8_large_300_train_300
Original Image: P05307.jpg
GT: knife
knife Detection preview by Box_v11_medium_train_SIXray_OPIXray No objects detected Detection preview by DN_Medium_300_yolov8m_20t7_new scissor Detection preview by Segmentatation_v8_medium_train_250 scissor Detection preview by Segmentation_V11_large_300_train_300 scissor Detection preview by Segmentation_v8_large_300_train_300
Original Image: P05308.jpg
GT: scissors
scissor Detection preview by Box_v11_medium_train_SIXray_OPIXray No objects detected Detection preview by DN_Medium_300_yolov8m_20t7_new scissor Detection preview by Segmentatation_v8_medium_train_250 scissor Detection preview by Segmentation_V11_large_300_train_300 scissor Detection preview by Segmentation_v8_large_300_train_300
Original Image: P05309.jpg
GT: scissors
scissor Detection preview by Box_v11_medium_train_SIXray_OPIXray No objects detected Detection preview by DN_Medium_300_yolov8m_20t7_new scissor Detection preview by Segmentatation_v8_medium_train_250 scissor Detection preview by Segmentation_V11_large_300_train_300 scissor Detection preview by Segmentation_v8_large_300_train_300
Original Image: P05310.jpg
GT: scissors
scissor Detection preview by Box_v11_medium_train_SIXray_OPIXray No objects detected Detection preview by DN_Medium_300_yolov8m_20t7_new scissor Detection preview by Segmentatation_v8_medium_train_250 scissor Detection preview by Segmentation_V11_large_300_train_300 scissor Detection preview by Segmentation_v8_large_300_train_300
Original Image: P05311.jpg
GT: scissors
scissor Detection preview by Box_v11_medium_train_SIXray_OPIXray No objects detected Detection preview by DN_Medium_300_yolov8m_20t7_new scissor Detection preview by Segmentatation_v8_medium_train_250 scissor Detection preview by Segmentation_V11_large_300_train_300 scissor Detection preview by Segmentation_v8_large_300_train_300
Original Image: P05312.jpg
GT: scissors
scissor Detection preview by Box_v11_medium_train_SIXray_OPIXray No objects detected Detection preview by DN_Medium_300_yolov8m_20t7_new scissor Detection preview by Segmentatation_v8_medium_train_250 scissor Detection preview by Segmentation_V11_large_300_train_300 scissor Detection preview by Segmentation_v8_large_300_train_300
Original Image: P05313.jpg
GT: pliers
pliers Detection preview by Box_v11_medium_train_SIXray_OPIXray No objects detected Detection preview by DN_Medium_300_yolov8m_20t7_new No objects detected Detection preview by Segmentatation_v8_medium_train_250 No objects detected Detection preview by Segmentation_V11_large_300_train_300 No objects detected Detection preview by Segmentation_v8_large_300_train_300
Original Image: P05314.jpg
GT: pliers
pliers Detection preview by Box_v11_medium_train_SIXray_OPIXray No objects detected Detection preview by DN_Medium_300_yolov8m_20t7_new No objects detected Detection preview by Segmentatation_v8_medium_train_250 No objects detected Detection preview by Segmentation_V11_large_300_train_300 No objects detected Detection preview by Segmentation_v8_large_300_train_300
Original Image: P05315.jpg
GT: pliers
pliers Detection preview by Box_v11_medium_train_SIXray_OPIXray No objects detected Detection preview by DN_Medium_300_yolov8m_20t7_new No objects detected Detection preview by Segmentatation_v8_medium_train_250 No objects detected Detection preview by Segmentation_V11_large_300_train_300 No objects detected Detection preview by Segmentation_v8_large_300_train_300
Original Image: P05316.jpg
GT: scissors
scissor Detection preview by Box_v11_medium_train_SIXray_OPIXray No objects detected Detection preview by DN_Medium_300_yolov8m_20t7_new scissor Detection preview by Segmentatation_v8_medium_train_250 scissor Detection preview by Segmentation_V11_large_300_train_300 scissor Detection preview by Segmentation_v8_large_300_train_300
Original Image: P05317.jpg
GT: scissors
scissor Detection preview by Box_v11_medium_train_SIXray_OPIXray No objects detected Detection preview by DN_Medium_300_yolov8m_20t7_new scissor Detection preview by Segmentatation_v8_medium_train_250 scissor Detection preview by Segmentation_V11_large_300_train_300 scissor Detection preview by Segmentation_v8_large_300_train_300
Original Image: P05318.jpg
GT: scissors
scissor Detection preview by Box_v11_medium_train_SIXray_OPIXray No objects detected Detection preview by DN_Medium_300_yolov8m_20t7_new scissor Detection preview by Segmentatation_v8_medium_train_250 scissor Detection preview by Segmentation_V11_large_300_train_300 scissor Detection preview by Segmentation_v8_large_300_train_300
Original Image: P05319.jpg
GT: pliers, scissors
pliers, scissor Detection preview by Box_v11_medium_train_SIXray_OPIXray No objects detected Detection preview by DN_Medium_300_yolov8m_20t7_new No objects detected Detection preview by Segmentatation_v8_medium_train_250 No objects detected Detection preview by Segmentation_V11_large_300_train_300 No objects detected Detection preview by Segmentation_v8_large_300_train_300
Original Image: P05320.jpg
GT: pliers, scissors
pliers, scissor Detection preview by Box_v11_medium_train_SIXray_OPIXray No objects detected Detection preview by DN_Medium_300_yolov8m_20t7_new No objects detected Detection preview by Segmentatation_v8_medium_train_250 No objects detected Detection preview by Segmentation_V11_large_300_train_300 No objects detected Detection preview by Segmentation_v8_large_300_train_300
Original Image: P05321.jpg
GT: pliers
pliers Detection preview by Box_v11_medium_train_SIXray_OPIXray pliers Detection preview by DN_Medium_300_yolov8m_20t7_new No objects detected Detection preview by Segmentatation_v8_medium_train_250 No objects detected Detection preview by Segmentation_V11_large_300_train_300 No objects detected Detection preview by Segmentation_v8_large_300_train_300
Original Image: P05322.jpg
GT: pliers
pliers Detection preview by Box_v11_medium_train_SIXray_OPIXray No objects detected Detection preview by DN_Medium_300_yolov8m_20t7_new No objects detected Detection preview by Segmentatation_v8_medium_train_250 No objects detected Detection preview by Segmentation_V11_large_300_train_300 No objects detected Detection preview by Segmentation_v8_large_300_train_300
Original Image: P05323.jpg
GT: pliers
pliers Detection preview by Box_v11_medium_train_SIXray_OPIXray No objects detected Detection preview by DN_Medium_300_yolov8m_20t7_new No objects detected Detection preview by Segmentatation_v8_medium_train_250 No objects detected Detection preview by Segmentation_V11_large_300_train_300 No objects detected Detection preview by Segmentation_v8_large_300_train_300
Original Image: P05324.jpg
GT: pliers
pliers Detection preview by Box_v11_medium_train_SIXray_OPIXray No objects detected Detection preview by DN_Medium_300_yolov8m_20t7_new No objects detected Detection preview by Segmentatation_v8_medium_train_250 No objects detected Detection preview by Segmentation_V11_large_300_train_300 No objects detected Detection preview by Segmentation_v8_large_300_train_300
Original Image: P05325.jpg
GT: scissors
scissor Detection preview by Box_v11_medium_train_SIXray_OPIXray No objects detected Detection preview by DN_Medium_300_yolov8m_20t7_new No objects detected Detection preview by Segmentatation_v8_medium_train_250 No objects detected Detection preview by Segmentation_V11_large_300_train_300 No objects detected Detection preview by Segmentation_v8_large_300_train_300
Original Image: P05326.jpg
GT: pliers
pliers Detection preview by Box_v11_medium_train_SIXray_OPIXray No objects detected Detection preview by DN_Medium_300_yolov8m_20t7_new No objects detected Detection preview by Segmentatation_v8_medium_train_250 No objects detected Detection preview by Segmentation_V11_large_300_train_300 No objects detected Detection preview by Segmentation_v8_large_300_train_300
Original Image: P05327.jpg
GT: pliers
pliers Detection preview by Box_v11_medium_train_SIXray_OPIXray No objects detected Detection preview by DN_Medium_300_yolov8m_20t7_new No objects detected Detection preview by Segmentatation_v8_medium_train_250 No objects detected Detection preview by Segmentation_V11_large_300_train_300 No objects detected Detection preview by Segmentation_v8_large_300_train_300
Original Image: P05328.jpg
GT: scissors
scissor Detection preview by Box_v11_medium_train_SIXray_OPIXray No objects detected Detection preview by DN_Medium_300_yolov8m_20t7_new scissor Detection preview by Segmentatation_v8_medium_train_250 scissor Detection preview by Segmentation_V11_large_300_train_300 scissor Detection preview by Segmentation_v8_large_300_train_300
Original Image: P05329.jpg
GT: pliers
pliers Detection preview by Box_v11_medium_train_SIXray_OPIXray pliers Detection preview by DN_Medium_300_yolov8m_20t7_new No objects detected Detection preview by Segmentatation_v8_medium_train_250 No objects detected Detection preview by Segmentation_V11_large_300_train_300 No objects detected Detection preview by Segmentation_v8_large_300_train_300
Original Image: P05330.jpg
GT: pliers
pliers Detection preview by Box_v11_medium_train_SIXray_OPIXray No objects detected Detection preview by DN_Medium_300_yolov8m_20t7_new No objects detected Detection preview by Segmentatation_v8_medium_train_250 No objects detected Detection preview by Segmentation_V11_large_300_train_300 No objects detected Detection preview by Segmentation_v8_large_300_train_300
Original Image: P05331.jpg
GT: pliers
pliers Detection preview by Box_v11_medium_train_SIXray_OPIXray No objects detected Detection preview by DN_Medium_300_yolov8m_20t7_new No objects detected Detection preview by Segmentatation_v8_medium_train_250 No objects detected Detection preview by Segmentation_V11_large_300_train_300 No objects detected Detection preview by Segmentation_v8_large_300_train_300
Original Image: P05332.jpg
GT: pliers
pliers Detection preview by Box_v11_medium_train_SIXray_OPIXray No objects detected Detection preview by DN_Medium_300_yolov8m_20t7_new No objects detected Detection preview by Segmentatation_v8_medium_train_250 No objects detected Detection preview by Segmentation_V11_large_300_train_300 No objects detected Detection preview by Segmentation_v8_large_300_train_300
Original Image: P05333.jpg
GT: pliers
pliers Detection preview by Box_v11_medium_train_SIXray_OPIXray No objects detected Detection preview by DN_Medium_300_yolov8m_20t7_new No objects detected Detection preview by Segmentatation_v8_medium_train_250 No objects detected Detection preview by Segmentation_V11_large_300_train_300 No objects detected Detection preview by Segmentation_v8_large_300_train_300
Original Image: P05334.jpg
GT: pliers, wrench
pliers, wrench Detection preview by Box_v11_medium_train_SIXray_OPIXray No objects detected Detection preview by DN_Medium_300_yolov8m_20t7_new wrench Detection preview by Segmentatation_v8_medium_train_250 wrench Detection preview by Segmentation_V11_large_300_train_300 wrench Detection preview by Segmentation_v8_large_300_train_300
Original Image: P05335.jpg
GT: pliers, wrench
pliers, wrench Detection preview by Box_v11_medium_train_SIXray_OPIXray No objects detected Detection preview by DN_Medium_300_yolov8m_20t7_new No objects detected Detection preview by Segmentatation_v8_medium_train_250 wrench Detection preview by Segmentation_V11_large_300_train_300 wrench Detection preview by Segmentation_v8_large_300_train_300
Original Image: P05336.jpg
GT: scissors
scissor Detection preview by Box_v11_medium_train_SIXray_OPIXray scissor Detection preview by DN_Medium_300_yolov8m_20t7_new scissor Detection preview by Segmentatation_v8_medium_train_250 scissor Detection preview by Segmentation_V11_large_300_train_300 scissor Detection preview by Segmentation_v8_large_300_train_300
Original Image: P05337.jpg
GT: scissors
scissor Detection preview by Box_v11_medium_train_SIXray_OPIXray scissor Detection preview by DN_Medium_300_yolov8m_20t7_new scissor Detection preview by Segmentatation_v8_medium_train_250 scissor Detection preview by Segmentation_V11_large_300_train_300 scissor Detection preview by Segmentation_v8_large_300_train_300
Original Image: P05338.jpg
GT: pliers
pliers Detection preview by Box_v11_medium_train_SIXray_OPIXray No objects detected Detection preview by DN_Medium_300_yolov8m_20t7_new No objects detected Detection preview by Segmentatation_v8_medium_train_250 No objects detected Detection preview by Segmentation_V11_large_300_train_300 No objects detected Detection preview by Segmentation_v8_large_300_train_300
Original Image: P05339.jpg
GT: pliers
pliers Detection preview by Box_v11_medium_train_SIXray_OPIXray No objects detected Detection preview by DN_Medium_300_yolov8m_20t7_new No objects detected Detection preview by Segmentatation_v8_medium_train_250 No objects detected Detection preview by Segmentation_V11_large_300_train_300 No objects detected Detection preview by Segmentation_v8_large_300_train_300
Original Image: P05340.jpg
GT: wrench
wrench Detection preview by Box_v11_medium_train_SIXray_OPIXray No objects detected Detection preview by DN_Medium_300_yolov8m_20t7_new wrench Detection preview by Segmentatation_v8_medium_train_250 wrench Detection preview by Segmentation_V11_large_300_train_300 wrench Detection preview by Segmentation_v8_large_300_train_300
Original Image: P05341.jpg
GT: wrench
wrench Detection preview by Box_v11_medium_train_SIXray_OPIXray No objects detected Detection preview by DN_Medium_300_yolov8m_20t7_new wrench Detection preview by Segmentatation_v8_medium_train_250 wrench Detection preview by Segmentation_V11_large_300_train_300 wrench Detection preview by Segmentation_v8_large_300_train_300
Original Image: P05342.jpg
GT: pliers
pliers Detection preview by Box_v11_medium_train_SIXray_OPIXray No objects detected Detection preview by DN_Medium_300_yolov8m_20t7_new No objects detected Detection preview by Segmentatation_v8_medium_train_250 No objects detected Detection preview by Segmentation_V11_large_300_train_300 No objects detected Detection preview by Segmentation_v8_large_300_train_300
Original Image: P05343.jpg
GT: pliers
pliers Detection preview by Box_v11_medium_train_SIXray_OPIXray No objects detected Detection preview by DN_Medium_300_yolov8m_20t7_new No objects detected Detection preview by Segmentatation_v8_medium_train_250 No objects detected Detection preview by Segmentation_V11_large_300_train_300 No objects detected Detection preview by Segmentation_v8_large_300_train_300
Original Image: P05344.jpg
GT: pliers
pliers Detection preview by Box_v11_medium_train_SIXray_OPIXray No objects detected Detection preview by DN_Medium_300_yolov8m_20t7_new No objects detected Detection preview by Segmentatation_v8_medium_train_250 No objects detected Detection preview by Segmentation_V11_large_300_train_300 No objects detected Detection preview by Segmentation_v8_large_300_train_300
Original Image: P05345.jpg
GT: scissors
scissor Detection preview by Box_v11_medium_train_SIXray_OPIXray No objects detected Detection preview by DN_Medium_300_yolov8m_20t7_new scissor Detection preview by Segmentatation_v8_medium_train_250 scissor Detection preview by Segmentation_V11_large_300_train_300 scissor Detection preview by Segmentation_v8_large_300_train_300
Original Image: P05346.jpg
GT: scissors
scissor Detection preview by Box_v11_medium_train_SIXray_OPIXray No objects detected Detection preview by DN_Medium_300_yolov8m_20t7_new scissor Detection preview by Segmentatation_v8_medium_train_250 scissor Detection preview by Segmentation_V11_large_300_train_300 scissor Detection preview by Segmentation_v8_large_300_train_300
Original Image: P05347.jpg
GT: pliers
pliers Detection preview by Box_v11_medium_train_SIXray_OPIXray No objects detected Detection preview by DN_Medium_300_yolov8m_20t7_new No objects detected Detection preview by Segmentatation_v8_medium_train_250 No objects detected Detection preview by Segmentation_V11_large_300_train_300 No objects detected Detection preview by Segmentation_v8_large_300_train_300
Original Image: P05348.jpg
GT: pliers
pliers Detection preview by Box_v11_medium_train_SIXray_OPIXray No objects detected Detection preview by DN_Medium_300_yolov8m_20t7_new No objects detected Detection preview by Segmentatation_v8_medium_train_250 No objects detected Detection preview by Segmentation_V11_large_300_train_300 No objects detected Detection preview by Segmentation_v8_large_300_train_300
Original Image: P05349.jpg
GT: pliers, wrench
pliers, wrench Detection preview by Box_v11_medium_train_SIXray_OPIXray pliers Detection preview by DN_Medium_300_yolov8m_20t7_new wrench Detection preview by Segmentatation_v8_medium_train_250 wrench Detection preview by Segmentation_V11_large_300_train_300 wrench Detection preview by Segmentation_v8_large_300_train_300
Original Image: P05350.jpg
GT: pliers
pliers Detection preview by Box_v11_medium_train_SIXray_OPIXray No objects detected Detection preview by DN_Medium_300_yolov8m_20t7_new No objects detected Detection preview by Segmentatation_v8_medium_train_250 No objects detected Detection preview by Segmentation_V11_large_300_train_300 No objects detected Detection preview by Segmentation_v8_large_300_train_300
Original Image: P05351.jpg
GT: scissors
scissor Detection preview by Box_v11_medium_train_SIXray_OPIXray No objects detected Detection preview by DN_Medium_300_yolov8m_20t7_new scissor Detection preview by Segmentatation_v8_medium_train_250 scissor Detection preview by Segmentation_V11_large_300_train_300 scissor Detection preview by Segmentation_v8_large_300_train_300
Original Image: P05352.jpg
GT: pliers
pliers Detection preview by Box_v11_medium_train_SIXray_OPIXray No objects detected Detection preview by DN_Medium_300_yolov8m_20t7_new No objects detected Detection preview by Segmentatation_v8_medium_train_250 No objects detected Detection preview by Segmentation_V11_large_300_train_300 No objects detected Detection preview by Segmentation_v8_large_300_train_300
Original Image: P05353.jpg
GT: pliers
pliers Detection preview by Box_v11_medium_train_SIXray_OPIXray No objects detected Detection preview by DN_Medium_300_yolov8m_20t7_new No objects detected Detection preview by Segmentatation_v8_medium_train_250 No objects detected Detection preview by Segmentation_V11_large_300_train_300 No objects detected Detection preview by Segmentation_v8_large_300_train_300
Original Image: P05354.jpg
GT: pliers, wrench
pliers, wrench Detection preview by Box_v11_medium_train_SIXray_OPIXray No objects detected Detection preview by DN_Medium_300_yolov8m_20t7_new wrench Detection preview by Segmentatation_v8_medium_train_250 wrench Detection preview by Segmentation_V11_large_300_train_300 wrench Detection preview by Segmentation_v8_large_300_train_300
Original Image: P05355.jpg
GT: pliers, wrench
pliers, wrench Detection preview by Box_v11_medium_train_SIXray_OPIXray No objects detected Detection preview by DN_Medium_300_yolov8m_20t7_new wrench Detection preview by Segmentatation_v8_medium_train_250 wrench Detection preview by Segmentation_V11_large_300_train_300 wrench Detection preview by Segmentation_v8_large_300_train_300
Original Image: P05356.jpg
GT: pliers, wrench
pliers, wrench Detection preview by Box_v11_medium_train_SIXray_OPIXray No objects detected Detection preview by DN_Medium_300_yolov8m_20t7_new wrench Detection preview by Segmentatation_v8_medium_train_250 wrench Detection preview by Segmentation_V11_large_300_train_300 wrench Detection preview by Segmentation_v8_large_300_train_300
Original Image: P05357.jpg
GT: pliers
pliers Detection preview by Box_v11_medium_train_SIXray_OPIXray No objects detected Detection preview by DN_Medium_300_yolov8m_20t7_new No objects detected Detection preview by Segmentatation_v8_medium_train_250 No objects detected Detection preview by Segmentation_V11_large_300_train_300 No objects detected Detection preview by Segmentation_v8_large_300_train_300
Original Image: P05358.jpg
GT: pliers
pliers Detection preview by Box_v11_medium_train_SIXray_OPIXray No objects detected Detection preview by DN_Medium_300_yolov8m_20t7_new No objects detected Detection preview by Segmentatation_v8_medium_train_250 No objects detected Detection preview by Segmentation_V11_large_300_train_300 No objects detected Detection preview by Segmentation_v8_large_300_train_300
Original Image: P05359.jpg
GT: pliers
pliers Detection preview by Box_v11_medium_train_SIXray_OPIXray No objects detected Detection preview by DN_Medium_300_yolov8m_20t7_new No objects detected Detection preview by Segmentatation_v8_medium_train_250 No objects detected Detection preview by Segmentation_V11_large_300_train_300 No objects detected Detection preview by Segmentation_v8_large_300_train_300
Original Image: P05360.jpg
GT: pliers
pliers Detection preview by Box_v11_medium_train_SIXray_OPIXray pliers Detection preview by DN_Medium_300_yolov8m_20t7_new No objects detected Detection preview by Segmentatation_v8_medium_train_250 No objects detected Detection preview by Segmentation_V11_large_300_train_300 No objects detected Detection preview by Segmentation_v8_large_300_train_300
Original Image: P05361.jpg
GT: pliers
pliers Detection preview by Box_v11_medium_train_SIXray_OPIXray No objects detected Detection preview by DN_Medium_300_yolov8m_20t7_new No objects detected Detection preview by Segmentatation_v8_medium_train_250 No objects detected Detection preview by Segmentation_V11_large_300_train_300 No objects detected Detection preview by Segmentation_v8_large_300_train_300
Original Image: P05362.jpg
GT: pliers
pliers Detection preview by Box_v11_medium_train_SIXray_OPIXray No objects detected Detection preview by DN_Medium_300_yolov8m_20t7_new No objects detected Detection preview by Segmentatation_v8_medium_train_250 No objects detected Detection preview by Segmentation_V11_large_300_train_300 No objects detected Detection preview by Segmentation_v8_large_300_train_300
Original Image: P05363.jpg
GT: pliers
pliers Detection preview by Box_v11_medium_train_SIXray_OPIXray No objects detected Detection preview by DN_Medium_300_yolov8m_20t7_new No objects detected Detection preview by Segmentatation_v8_medium_train_250 No objects detected Detection preview by Segmentation_V11_large_300_train_300 No objects detected Detection preview by Segmentation_v8_large_300_train_300
Original Image: P05364.jpg
GT: pliers
pliers Detection preview by Box_v11_medium_train_SIXray_OPIXray No objects detected Detection preview by DN_Medium_300_yolov8m_20t7_new No objects detected Detection preview by Segmentatation_v8_medium_train_250 No objects detected Detection preview by Segmentation_V11_large_300_train_300 No objects detected Detection preview by Segmentation_v8_large_300_train_300
Original Image: P05365.jpg
GT: pliers
pliers Detection preview by Box_v11_medium_train_SIXray_OPIXray No objects detected Detection preview by DN_Medium_300_yolov8m_20t7_new No objects detected Detection preview by Segmentatation_v8_medium_train_250 No objects detected Detection preview by Segmentation_V11_large_300_train_300 No objects detected Detection preview by Segmentation_v8_large_300_train_300
Original Image: P05366.jpg
GT: pliers
pliers Detection preview by Box_v11_medium_train_SIXray_OPIXray No objects detected Detection preview by DN_Medium_300_yolov8m_20t7_new No objects detected Detection preview by Segmentatation_v8_medium_train_250 No objects detected Detection preview by Segmentation_V11_large_300_train_300 No objects detected Detection preview by Segmentation_v8_large_300_train_300
Original Image: P05367.jpg
GT: pliers
pliers Detection preview by Box_v11_medium_train_SIXray_OPIXray No objects detected Detection preview by DN_Medium_300_yolov8m_20t7_new No objects detected Detection preview by Segmentatation_v8_medium_train_250 No objects detected Detection preview by Segmentation_V11_large_300_train_300 No objects detected Detection preview by Segmentation_v8_large_300_train_300
Original Image: P05368.jpg
GT: pliers
pliers Detection preview by Box_v11_medium_train_SIXray_OPIXray No objects detected Detection preview by DN_Medium_300_yolov8m_20t7_new No objects detected Detection preview by Segmentatation_v8_medium_train_250 No objects detected Detection preview by Segmentation_V11_large_300_train_300 No objects detected Detection preview by Segmentation_v8_large_300_train_300
Original Image: P05369.jpg
GT: pliers
pliers Detection preview by Box_v11_medium_train_SIXray_OPIXray No objects detected Detection preview by DN_Medium_300_yolov8m_20t7_new No objects detected Detection preview by Segmentatation_v8_medium_train_250 No objects detected Detection preview by Segmentation_V11_large_300_train_300 No objects detected Detection preview by Segmentation_v8_large_300_train_300
Original Image: P05370.jpg
GT: scissors
scissor Detection preview by Box_v11_medium_train_SIXray_OPIXray No objects detected Detection preview by DN_Medium_300_yolov8m_20t7_new scissor Detection preview by Segmentatation_v8_medium_train_250 scissor Detection preview by Segmentation_V11_large_300_train_300 scissor Detection preview by Segmentation_v8_large_300_train_300
Original Image: P05371.jpg
GT: pliers
pliers Detection preview by Box_v11_medium_train_SIXray_OPIXray pliers Detection preview by DN_Medium_300_yolov8m_20t7_new No objects detected Detection preview by Segmentatation_v8_medium_train_250 No objects detected Detection preview by Segmentation_V11_large_300_train_300 No objects detected Detection preview by Segmentation_v8_large_300_train_300
Original Image: P05372.jpg
GT: scissors
scissor Detection preview by Box_v11_medium_train_SIXray_OPIXray No objects detected Detection preview by DN_Medium_300_yolov8m_20t7_new scissor Detection preview by Segmentatation_v8_medium_train_250 scissor Detection preview by Segmentation_V11_large_300_train_300 scissor Detection preview by Segmentation_v8_large_300_train_300
Original Image: P05373.jpg
GT: scissors
scissor Detection preview by Box_v11_medium_train_SIXray_OPIXray No objects detected Detection preview by DN_Medium_300_yolov8m_20t7_new scissor Detection preview by Segmentatation_v8_medium_train_250 scissor Detection preview by Segmentation_V11_large_300_train_300 scissor Detection preview by Segmentation_v8_large_300_train_300
Original Image: P05374.jpg
GT: scissors
scissor Detection preview by Box_v11_medium_train_SIXray_OPIXray No objects detected Detection preview by DN_Medium_300_yolov8m_20t7_new scissor Detection preview by Segmentatation_v8_medium_train_250 scissor Detection preview by Segmentation_V11_large_300_train_300 scissor Detection preview by Segmentation_v8_large_300_train_300
Original Image: P05375.jpg
GT: scissors
scissor Detection preview by Box_v11_medium_train_SIXray_OPIXray No objects detected Detection preview by DN_Medium_300_yolov8m_20t7_new scissor Detection preview by Segmentatation_v8_medium_train_250 scissor Detection preview by Segmentation_V11_large_300_train_300 scissor Detection preview by Segmentation_v8_large_300_train_300
Original Image: P05376.jpg
GT: scissors
scissor Detection preview by Box_v11_medium_train_SIXray_OPIXray No objects detected Detection preview by DN_Medium_300_yolov8m_20t7_new scissor Detection preview by Segmentatation_v8_medium_train_250 scissor Detection preview by Segmentation_V11_large_300_train_300 scissor Detection preview by Segmentation_v8_large_300_train_300
Original Image: P05377.jpg
GT: scissors
scissor Detection preview by Box_v11_medium_train_SIXray_OPIXray No objects detected Detection preview by DN_Medium_300_yolov8m_20t7_new scissor Detection preview by Segmentatation_v8_medium_train_250 scissor Detection preview by Segmentation_V11_large_300_train_300 scissor Detection preview by Segmentation_v8_large_300_train_300
Original Image: P05378.jpg
GT: scissors
scissor Detection preview by Box_v11_medium_train_SIXray_OPIXray No objects detected Detection preview by DN_Medium_300_yolov8m_20t7_new scissor Detection preview by Segmentatation_v8_medium_train_250 scissor Detection preview by Segmentation_V11_large_300_train_300 scissor Detection preview by Segmentation_v8_large_300_train_300
Original Image: P05379.jpg
GT: pliers
pliers Detection preview by Box_v11_medium_train_SIXray_OPIXray pliers Detection preview by DN_Medium_300_yolov8m_20t7_new No objects detected Detection preview by Segmentatation_v8_medium_train_250 No objects detected Detection preview by Segmentation_V11_large_300_train_300 No objects detected Detection preview by Segmentation_v8_large_300_train_300
Original Image: P05380.jpg
GT: pliers
pliers Detection preview by Box_v11_medium_train_SIXray_OPIXray No objects detected Detection preview by DN_Medium_300_yolov8m_20t7_new No objects detected Detection preview by Segmentatation_v8_medium_train_250 No objects detected Detection preview by Segmentation_V11_large_300_train_300 No objects detected Detection preview by Segmentation_v8_large_300_train_300
Original Image: P05381.jpg
GT: pliers
pliers Detection preview by Box_v11_medium_train_SIXray_OPIXray No objects detected Detection preview by DN_Medium_300_yolov8m_20t7_new No objects detected Detection preview by Segmentatation_v8_medium_train_250 No objects detected Detection preview by Segmentation_V11_large_300_train_300 No objects detected Detection preview by Segmentation_v8_large_300_train_300
Original Image: P05382.jpg
GT: pliers
pliers Detection preview by Box_v11_medium_train_SIXray_OPIXray No objects detected Detection preview by DN_Medium_300_yolov8m_20t7_new No objects detected Detection preview by Segmentatation_v8_medium_train_250 No objects detected Detection preview by Segmentation_V11_large_300_train_300 No objects detected Detection preview by Segmentation_v8_large_300_train_300
Original Image: P05383.jpg
GT: pliers, wrench
pliers, wrench Detection preview by Box_v11_medium_train_SIXray_OPIXray No objects detected Detection preview by DN_Medium_300_yolov8m_20t7_new wrench Detection preview by Segmentatation_v8_medium_train_250 wrench Detection preview by Segmentation_V11_large_300_train_300 wrench Detection preview by Segmentation_v8_large_300_train_300
Original Image: P05384.jpg
GT: pliers
pliers Detection preview by Box_v11_medium_train_SIXray_OPIXray No objects detected Detection preview by DN_Medium_300_yolov8m_20t7_new No objects detected Detection preview by Segmentatation_v8_medium_train_250 No objects detected Detection preview by Segmentation_V11_large_300_train_300 No objects detected Detection preview by Segmentation_v8_large_300_train_300
Original Image: P05385.jpg
GT: pliers
pliers Detection preview by Box_v11_medium_train_SIXray_OPIXray No objects detected Detection preview by DN_Medium_300_yolov8m_20t7_new No objects detected Detection preview by Segmentatation_v8_medium_train_250 No objects detected Detection preview by Segmentation_V11_large_300_train_300 No objects detected Detection preview by Segmentation_v8_large_300_train_300
Original Image: P05386.jpg
GT: pliers
pliers Detection preview by Box_v11_medium_train_SIXray_OPIXray No objects detected Detection preview by DN_Medium_300_yolov8m_20t7_new No objects detected Detection preview by Segmentatation_v8_medium_train_250 No objects detected Detection preview by Segmentation_V11_large_300_train_300 No objects detected Detection preview by Segmentation_v8_large_300_train_300
Original Image: P05387.jpg
GT: pliers, wrench
pliers, wrench Detection preview by Box_v11_medium_train_SIXray_OPIXray No objects detected Detection preview by DN_Medium_300_yolov8m_20t7_new wrench Detection preview by Segmentatation_v8_medium_train_250 wrench Detection preview by Segmentation_V11_large_300_train_300 wrench Detection preview by Segmentation_v8_large_300_train_300
Original Image: P05388.jpg
GT: wrench
wrench Detection preview by Box_v11_medium_train_SIXray_OPIXray No objects detected Detection preview by DN_Medium_300_yolov8m_20t7_new wrench Detection preview by Segmentatation_v8_medium_train_250 wrench Detection preview by Segmentation_V11_large_300_train_300 wrench Detection preview by Segmentation_v8_large_300_train_300
Original Image: P05389.jpg
GT: knife
knife Detection preview by Box_v11_medium_train_SIXray_OPIXray No objects detected Detection preview by DN_Medium_300_yolov8m_20t7_new scissor Detection preview by Segmentatation_v8_medium_train_250 knife, scissor Detection preview by Segmentation_V11_large_300_train_300 scissor Detection preview by Segmentation_v8_large_300_train_300
Original Image: P05390.jpg
GT: knife
knife Detection preview by Box_v11_medium_train_SIXray_OPIXray No objects detected Detection preview by DN_Medium_300_yolov8m_20t7_new scissor Detection preview by Segmentatation_v8_medium_train_250 knife, scissor Detection preview by Segmentation_V11_large_300_train_300 scissor Detection preview by Segmentation_v8_large_300_train_300
Original Image: P05391.jpg
GT: knife
knife Detection preview by Box_v11_medium_train_SIXray_OPIXray No objects detected Detection preview by DN_Medium_300_yolov8m_20t7_new No objects detected Detection preview by Segmentatation_v8_medium_train_250 No objects detected Detection preview by Segmentation_V11_large_300_train_300 knife Detection preview by Segmentation_v8_large_300_train_300
Original Image: P05392.jpg
GT: pliers
pliers Detection preview by Box_v11_medium_train_SIXray_OPIXray No objects detected Detection preview by DN_Medium_300_yolov8m_20t7_new No objects detected Detection preview by Segmentatation_v8_medium_train_250 No objects detected Detection preview by Segmentation_V11_large_300_train_300 No objects detected Detection preview by Segmentation_v8_large_300_train_300
Original Image: P05393.jpg
GT: pliers
pliers Detection preview by Box_v11_medium_train_SIXray_OPIXray No objects detected Detection preview by DN_Medium_300_yolov8m_20t7_new No objects detected Detection preview by Segmentatation_v8_medium_train_250 No objects detected Detection preview by Segmentation_V11_large_300_train_300 No objects detected Detection preview by Segmentation_v8_large_300_train_300
Original Image: P05394.jpg
GT: pliers, wrench
pliers, wrench Detection preview by Box_v11_medium_train_SIXray_OPIXray pliers Detection preview by DN_Medium_300_yolov8m_20t7_new wrench Detection preview by Segmentatation_v8_medium_train_250 wrench Detection preview by Segmentation_V11_large_300_train_300 wrench Detection preview by Segmentation_v8_large_300_train_300
Original Image: P05395.jpg
GT: scissors
scissor Detection preview by Box_v11_medium_train_SIXray_OPIXray scissor Detection preview by DN_Medium_300_yolov8m_20t7_new scissor Detection preview by Segmentatation_v8_medium_train_250 scissor Detection preview by Segmentation_V11_large_300_train_300 scissor Detection preview by Segmentation_v8_large_300_train_300
Original Image: P05396.jpg
GT: pliers, wrench
pliers, wrench Detection preview by Box_v11_medium_train_SIXray_OPIXray pliers Detection preview by DN_Medium_300_yolov8m_20t7_new wrench Detection preview by Segmentatation_v8_medium_train_250 wrench Detection preview by Segmentation_V11_large_300_train_300 wrench Detection preview by Segmentation_v8_large_300_train_300
Original Image: P05397.jpg
GT: pliers, wrench
pliers, wrench Detection preview by Box_v11_medium_train_SIXray_OPIXray pliers Detection preview by DN_Medium_300_yolov8m_20t7_new wrench Detection preview by Segmentatation_v8_medium_train_250 wrench Detection preview by Segmentation_V11_large_300_train_300 wrench Detection preview by Segmentation_v8_large_300_train_300
Original Image: P05398.jpg
GT: pliers, wrench
pliers, wrench Detection preview by Box_v11_medium_train_SIXray_OPIXray pliers Detection preview by DN_Medium_300_yolov8m_20t7_new wrench Detection preview by Segmentatation_v8_medium_train_250 wrench Detection preview by Segmentation_V11_large_300_train_300 wrench Detection preview by Segmentation_v8_large_300_train_300
Original Image: P05399.jpg
GT: scissors
scissor Detection preview by Box_v11_medium_train_SIXray_OPIXray No objects detected Detection preview by DN_Medium_300_yolov8m_20t7_new scissor Detection preview by Segmentatation_v8_medium_train_250 scissor Detection preview by Segmentation_V11_large_300_train_300 scissor Detection preview by Segmentation_v8_large_300_train_300
Original Image: P05400.jpg
GT: scissors
scissor Detection preview by Box_v11_medium_train_SIXray_OPIXray No objects detected Detection preview by DN_Medium_300_yolov8m_20t7_new scissor Detection preview by Segmentatation_v8_medium_train_250 scissor Detection preview by Segmentation_V11_large_300_train_300 scissor Detection preview by Segmentation_v8_large_300_train_300
Original Image: P05401.jpg
GT: scissors
scissor Detection preview by Box_v11_medium_train_SIXray_OPIXray No objects detected Detection preview by DN_Medium_300_yolov8m_20t7_new scissor Detection preview by Segmentatation_v8_medium_train_250 scissor Detection preview by Segmentation_V11_large_300_train_300 scissor Detection preview by Segmentation_v8_large_300_train_300
Original Image: P05402.jpg
GT: pliers, wrench
pliers, wrench Detection preview by Box_v11_medium_train_SIXray_OPIXray pliers Detection preview by DN_Medium_300_yolov8m_20t7_new wrench Detection preview by Segmentatation_v8_medium_train_250 wrench Detection preview by Segmentation_V11_large_300_train_300 wrench Detection preview by Segmentation_v8_large_300_train_300
Original Image: P05403.jpg
GT: pliers, wrench
pliers, wrench Detection preview by Box_v11_medium_train_SIXray_OPIXray No objects detected Detection preview by DN_Medium_300_yolov8m_20t7_new wrench Detection preview by Segmentatation_v8_medium_train_250 wrench Detection preview by Segmentation_V11_large_300_train_300 wrench Detection preview by Segmentation_v8_large_300_train_300
Original Image: P05404.jpg
GT: pliers
pliers Detection preview by Box_v11_medium_train_SIXray_OPIXray No objects detected Detection preview by DN_Medium_300_yolov8m_20t7_new No objects detected Detection preview by Segmentatation_v8_medium_train_250 No objects detected Detection preview by Segmentation_V11_large_300_train_300 No objects detected Detection preview by Segmentation_v8_large_300_train_300
Original Image: P05405.jpg
GT: pliers
pliers Detection preview by Box_v11_medium_train_SIXray_OPIXray No objects detected Detection preview by DN_Medium_300_yolov8m_20t7_new No objects detected Detection preview by Segmentatation_v8_medium_train_250 No objects detected Detection preview by Segmentation_V11_large_300_train_300 No objects detected Detection preview by Segmentation_v8_large_300_train_300
Original Image: P05406.jpg
GT: pliers
pliers Detection preview by Box_v11_medium_train_SIXray_OPIXray No objects detected Detection preview by DN_Medium_300_yolov8m_20t7_new No objects detected Detection preview by Segmentatation_v8_medium_train_250 No objects detected Detection preview by Segmentation_V11_large_300_train_300 No objects detected Detection preview by Segmentation_v8_large_300_train_300
Original Image: P05407.jpg
GT: pliers
pliers Detection preview by Box_v11_medium_train_SIXray_OPIXray No objects detected Detection preview by DN_Medium_300_yolov8m_20t7_new No objects detected Detection preview by Segmentatation_v8_medium_train_250 No objects detected Detection preview by Segmentation_V11_large_300_train_300 No objects detected Detection preview by Segmentation_v8_large_300_train_300
Original Image: P05408.jpg
GT: pliers, wrench
pliers, wrench Detection preview by Box_v11_medium_train_SIXray_OPIXray No objects detected Detection preview by DN_Medium_300_yolov8m_20t7_new wrench Detection preview by Segmentatation_v8_medium_train_250 wrench Detection preview by Segmentation_V11_large_300_train_300 wrench Detection preview by Segmentation_v8_large_300_train_300
Original Image: P05409.jpg
GT: pliers
pliers Detection preview by Box_v11_medium_train_SIXray_OPIXray No objects detected Detection preview by DN_Medium_300_yolov8m_20t7_new No objects detected Detection preview by Segmentatation_v8_medium_train_250 No objects detected Detection preview by Segmentation_V11_large_300_train_300 No objects detected Detection preview by Segmentation_v8_large_300_train_300
Original Image: P05410.jpg
GT: pliers, wrench
pliers, wrench Detection preview by Box_v11_medium_train_SIXray_OPIXray No objects detected Detection preview by DN_Medium_300_yolov8m_20t7_new wrench Detection preview by Segmentatation_v8_medium_train_250 wrench Detection preview by Segmentation_V11_large_300_train_300 wrench Detection preview by Segmentation_v8_large_300_train_300
Original Image: P05411.jpg
GT: wrench
wrench Detection preview by Box_v11_medium_train_SIXray_OPIXray No objects detected Detection preview by DN_Medium_300_yolov8m_20t7_new wrench Detection preview by Segmentatation_v8_medium_train_250 wrench Detection preview by Segmentation_V11_large_300_train_300 wrench Detection preview by Segmentation_v8_large_300_train_300
Original Image: P05412.jpg
GT: wrench
wrench Detection preview by Box_v11_medium_train_SIXray_OPIXray No objects detected Detection preview by DN_Medium_300_yolov8m_20t7_new wrench Detection preview by Segmentatation_v8_medium_train_250 wrench Detection preview by Segmentation_V11_large_300_train_300 wrench Detection preview by Segmentation_v8_large_300_train_300
Original Image: P05413.jpg
GT: scissors
scissor Detection preview by Box_v11_medium_train_SIXray_OPIXray scissor Detection preview by DN_Medium_300_yolov8m_20t7_new scissor Detection preview by Segmentatation_v8_medium_train_250 scissor Detection preview by Segmentation_V11_large_300_train_300 scissor Detection preview by Segmentation_v8_large_300_train_300
Original Image: P05414.jpg
GT: pliers
pliers Detection preview by Box_v11_medium_train_SIXray_OPIXray No objects detected Detection preview by DN_Medium_300_yolov8m_20t7_new No objects detected Detection preview by Segmentatation_v8_medium_train_250 No objects detected Detection preview by Segmentation_V11_large_300_train_300 No objects detected Detection preview by Segmentation_v8_large_300_train_300
Original Image: P05415.jpg
GT: pliers
pliers Detection preview by Box_v11_medium_train_SIXray_OPIXray No objects detected Detection preview by DN_Medium_300_yolov8m_20t7_new No objects detected Detection preview by Segmentatation_v8_medium_train_250 No objects detected Detection preview by Segmentation_V11_large_300_train_300 No objects detected Detection preview by Segmentation_v8_large_300_train_300
Original Image: P05416.jpg
GT: pliers
pliers Detection preview by Box_v11_medium_train_SIXray_OPIXray No objects detected Detection preview by DN_Medium_300_yolov8m_20t7_new No objects detected Detection preview by Segmentatation_v8_medium_train_250 No objects detected Detection preview by Segmentation_V11_large_300_train_300 No objects detected Detection preview by Segmentation_v8_large_300_train_300
Original Image: P05417.jpg
GT: pliers
pliers Detection preview by Box_v11_medium_train_SIXray_OPIXray No objects detected Detection preview by DN_Medium_300_yolov8m_20t7_new No objects detected Detection preview by Segmentatation_v8_medium_train_250 No objects detected Detection preview by Segmentation_V11_large_300_train_300 No objects detected Detection preview by Segmentation_v8_large_300_train_300
Original Image: P05418.jpg
GT: pliers
pliers Detection preview by Box_v11_medium_train_SIXray_OPIXray No objects detected Detection preview by DN_Medium_300_yolov8m_20t7_new No objects detected Detection preview by Segmentatation_v8_medium_train_250 No objects detected Detection preview by Segmentation_V11_large_300_train_300 No objects detected Detection preview by Segmentation_v8_large_300_train_300
Original Image: P05419.jpg
GT: pliers
pliers Detection preview by Box_v11_medium_train_SIXray_OPIXray No objects detected Detection preview by DN_Medium_300_yolov8m_20t7_new No objects detected Detection preview by Segmentatation_v8_medium_train_250 No objects detected Detection preview by Segmentation_V11_large_300_train_300 No objects detected Detection preview by Segmentation_v8_large_300_train_300
Original Image: P05420.jpg
GT: pliers
pliers Detection preview by Box_v11_medium_train_SIXray_OPIXray No objects detected Detection preview by DN_Medium_300_yolov8m_20t7_new No objects detected Detection preview by Segmentatation_v8_medium_train_250 No objects detected Detection preview by Segmentation_V11_large_300_train_300 No objects detected Detection preview by Segmentation_v8_large_300_train_300
Original Image: P05421.jpg
GT: pliers
pliers Detection preview by Box_v11_medium_train_SIXray_OPIXray No objects detected Detection preview by DN_Medium_300_yolov8m_20t7_new No objects detected Detection preview by Segmentatation_v8_medium_train_250 No objects detected Detection preview by Segmentation_V11_large_300_train_300 No objects detected Detection preview by Segmentation_v8_large_300_train_300
Original Image: P05422.jpg
GT: wrench
wrench Detection preview by Box_v11_medium_train_SIXray_OPIXray No objects detected Detection preview by DN_Medium_300_yolov8m_20t7_new wrench Detection preview by Segmentatation_v8_medium_train_250 wrench Detection preview by Segmentation_V11_large_300_train_300 wrench Detection preview by Segmentation_v8_large_300_train_300
Original Image: P05423.jpg
GT: wrench
wrench Detection preview by Box_v11_medium_train_SIXray_OPIXray No objects detected Detection preview by DN_Medium_300_yolov8m_20t7_new wrench Detection preview by Segmentatation_v8_medium_train_250 wrench Detection preview by Segmentation_V11_large_300_train_300 wrench Detection preview by Segmentation_v8_large_300_train_300
Original Image: P05424.jpg
GT: knife, scissors
knife, scissor Detection preview by Box_v11_medium_train_SIXray_OPIXray No objects detected Detection preview by DN_Medium_300_yolov8m_20t7_new No objects detected Detection preview by Segmentatation_v8_medium_train_250 No objects detected Detection preview by Segmentation_V11_large_300_train_300 No objects detected Detection preview by Segmentation_v8_large_300_train_300
Original Image: P05425.jpg
GT: wrench
wrench Detection preview by Box_v11_medium_train_SIXray_OPIXray No objects detected Detection preview by DN_Medium_300_yolov8m_20t7_new wrench Detection preview by Segmentatation_v8_medium_train_250 wrench Detection preview by Segmentation_V11_large_300_train_300 wrench Detection preview by Segmentation_v8_large_300_train_300
Original Image: P05426.jpg
GT: knife
knife Detection preview by Box_v11_medium_train_SIXray_OPIXray No objects detected Detection preview by DN_Medium_300_yolov8m_20t7_new scissor Detection preview by Segmentatation_v8_medium_train_250 scissor Detection preview by Segmentation_V11_large_300_train_300 scissor Detection preview by Segmentation_v8_large_300_train_300
Original Image: P05427.jpg
GT: scissors
scissor Detection preview by Box_v11_medium_train_SIXray_OPIXray No objects detected Detection preview by DN_Medium_300_yolov8m_20t7_new scissor Detection preview by Segmentatation_v8_medium_train_250 scissor Detection preview by Segmentation_V11_large_300_train_300 scissor Detection preview by Segmentation_v8_large_300_train_300
Original Image: P05428.jpg
GT: scissors
scissor Detection preview by Box_v11_medium_train_SIXray_OPIXray No objects detected Detection preview by DN_Medium_300_yolov8m_20t7_new scissor Detection preview by Segmentatation_v8_medium_train_250 scissor Detection preview by Segmentation_V11_large_300_train_300 scissor Detection preview by Segmentation_v8_large_300_train_300
Original Image: P05429.jpg
GT: pliers, wrench
pliers, wrench Detection preview by Box_v11_medium_train_SIXray_OPIXray No objects detected Detection preview by DN_Medium_300_yolov8m_20t7_new wrench Detection preview by Segmentatation_v8_medium_train_250 wrench Detection preview by Segmentation_V11_large_300_train_300 wrench Detection preview by Segmentation_v8_large_300_train_300
Original Image: P05430.jpg
GT: pliers, wrench
pliers, wrench Detection preview by Box_v11_medium_train_SIXray_OPIXray No objects detected Detection preview by DN_Medium_300_yolov8m_20t7_new wrench Detection preview by Segmentatation_v8_medium_train_250 wrench Detection preview by Segmentation_V11_large_300_train_300 wrench Detection preview by Segmentation_v8_large_300_train_300
Original Image: P05431.jpg
GT: pliers, wrench
pliers, wrench Detection preview by Box_v11_medium_train_SIXray_OPIXray No objects detected Detection preview by DN_Medium_300_yolov8m_20t7_new wrench Detection preview by Segmentatation_v8_medium_train_250 wrench Detection preview by Segmentation_V11_large_300_train_300 wrench Detection preview by Segmentation_v8_large_300_train_300
Original Image: P05432.jpg
GT: wrench
wrench Detection preview by Box_v11_medium_train_SIXray_OPIXray No objects detected Detection preview by DN_Medium_300_yolov8m_20t7_new wrench Detection preview by Segmentatation_v8_medium_train_250 wrench Detection preview by Segmentation_V11_large_300_train_300 wrench Detection preview by Segmentation_v8_large_300_train_300
Original Image: P05433.jpg
GT: pliers
pliers Detection preview by Box_v11_medium_train_SIXray_OPIXray No objects detected Detection preview by DN_Medium_300_yolov8m_20t7_new No objects detected Detection preview by Segmentatation_v8_medium_train_250 No objects detected Detection preview by Segmentation_V11_large_300_train_300 No objects detected Detection preview by Segmentation_v8_large_300_train_300
Original Image: P05434.jpg
GT: pliers
pliers Detection preview by Box_v11_medium_train_SIXray_OPIXray No objects detected Detection preview by DN_Medium_300_yolov8m_20t7_new No objects detected Detection preview by Segmentatation_v8_medium_train_250 No objects detected Detection preview by Segmentation_V11_large_300_train_300 No objects detected Detection preview by Segmentation_v8_large_300_train_300
Original Image: P05435.jpg
GT: pliers
pliers Detection preview by Box_v11_medium_train_SIXray_OPIXray pliers Detection preview by DN_Medium_300_yolov8m_20t7_new No objects detected Detection preview by Segmentatation_v8_medium_train_250 No objects detected Detection preview by Segmentation_V11_large_300_train_300 No objects detected Detection preview by Segmentation_v8_large_300_train_300
Original Image: P05436.jpg
GT: pliers
pliers Detection preview by Box_v11_medium_train_SIXray_OPIXray pliers Detection preview by DN_Medium_300_yolov8m_20t7_new No objects detected Detection preview by Segmentatation_v8_medium_train_250 No objects detected Detection preview by Segmentation_V11_large_300_train_300 No objects detected Detection preview by Segmentation_v8_large_300_train_300
Original Image: P05437.jpg
GT: pliers
pliers Detection preview by Box_v11_medium_train_SIXray_OPIXray No objects detected Detection preview by DN_Medium_300_yolov8m_20t7_new No objects detected Detection preview by Segmentatation_v8_medium_train_250 No objects detected Detection preview by Segmentation_V11_large_300_train_300 No objects detected Detection preview by Segmentation_v8_large_300_train_300
Original Image: P05438.jpg
GT: pliers
pliers Detection preview by Box_v11_medium_train_SIXray_OPIXray No objects detected Detection preview by DN_Medium_300_yolov8m_20t7_new No objects detected Detection preview by Segmentatation_v8_medium_train_250 No objects detected Detection preview by Segmentation_V11_large_300_train_300 No objects detected Detection preview by Segmentation_v8_large_300_train_300
Original Image: P05439.jpg
GT: pliers
pliers Detection preview by Box_v11_medium_train_SIXray_OPIXray No objects detected Detection preview by DN_Medium_300_yolov8m_20t7_new No objects detected Detection preview by Segmentatation_v8_medium_train_250 No objects detected Detection preview by Segmentation_V11_large_300_train_300 No objects detected Detection preview by Segmentation_v8_large_300_train_300
Original Image: P05440.jpg
GT: pliers
pliers Detection preview by Box_v11_medium_train_SIXray_OPIXray No objects detected Detection preview by DN_Medium_300_yolov8m_20t7_new No objects detected Detection preview by Segmentatation_v8_medium_train_250 No objects detected Detection preview by Segmentation_V11_large_300_train_300 No objects detected Detection preview by Segmentation_v8_large_300_train_300
Original Image: P05441.jpg
GT: pliers
pliers Detection preview by Box_v11_medium_train_SIXray_OPIXray No objects detected Detection preview by DN_Medium_300_yolov8m_20t7_new No objects detected Detection preview by Segmentatation_v8_medium_train_250 No objects detected Detection preview by Segmentation_V11_large_300_train_300 No objects detected Detection preview by Segmentation_v8_large_300_train_300
Original Image: P05442.jpg
GT: pliers
pliers Detection preview by Box_v11_medium_train_SIXray_OPIXray No objects detected Detection preview by DN_Medium_300_yolov8m_20t7_new No objects detected Detection preview by Segmentatation_v8_medium_train_250 No objects detected Detection preview by Segmentation_V11_large_300_train_300 No objects detected Detection preview by Segmentation_v8_large_300_train_300
Original Image: P05443.jpg
GT: pliers, wrench
pliers, wrench Detection preview by Box_v11_medium_train_SIXray_OPIXray No objects detected Detection preview by DN_Medium_300_yolov8m_20t7_new wrench Detection preview by Segmentatation_v8_medium_train_250 wrench Detection preview by Segmentation_V11_large_300_train_300 wrench Detection preview by Segmentation_v8_large_300_train_300
Original Image: P05444.jpg
GT: pliers, wrench
pliers, wrench Detection preview by Box_v11_medium_train_SIXray_OPIXray No objects detected Detection preview by DN_Medium_300_yolov8m_20t7_new wrench Detection preview by Segmentatation_v8_medium_train_250 wrench Detection preview by Segmentation_V11_large_300_train_300 wrench Detection preview by Segmentation_v8_large_300_train_300
Original Image: P05445.jpg
GT: scissors
scissor Detection preview by Box_v11_medium_train_SIXray_OPIXray No objects detected Detection preview by DN_Medium_300_yolov8m_20t7_new scissor Detection preview by Segmentatation_v8_medium_train_250 scissor Detection preview by Segmentation_V11_large_300_train_300 scissor Detection preview by Segmentation_v8_large_300_train_300
Original Image: P05446.jpg
GT: scissors
scissor Detection preview by Box_v11_medium_train_SIXray_OPIXray No objects detected Detection preview by DN_Medium_300_yolov8m_20t7_new scissor Detection preview by Segmentatation_v8_medium_train_250 scissor Detection preview by Segmentation_V11_large_300_train_300 scissor Detection preview by Segmentation_v8_large_300_train_300
Original Image: P05447.jpg
GT: scissors
scissor Detection preview by Box_v11_medium_train_SIXray_OPIXray No objects detected Detection preview by DN_Medium_300_yolov8m_20t7_new scissor Detection preview by Segmentatation_v8_medium_train_250 scissor Detection preview by Segmentation_V11_large_300_train_300 scissor Detection preview by Segmentation_v8_large_300_train_300
Original Image: P05448.jpg
GT: pliers, wrench
pliers, wrench Detection preview by Box_v11_medium_train_SIXray_OPIXray No objects detected Detection preview by DN_Medium_300_yolov8m_20t7_new wrench Detection preview by Segmentatation_v8_medium_train_250 wrench Detection preview by Segmentation_V11_large_300_train_300 wrench Detection preview by Segmentation_v8_large_300_train_300
Original Image: P05449.jpg
GT: pliers, wrench
pliers, wrench Detection preview by Box_v11_medium_train_SIXray_OPIXray No objects detected Detection preview by DN_Medium_300_yolov8m_20t7_new wrench Detection preview by Segmentatation_v8_medium_train_250 wrench Detection preview by Segmentation_V11_large_300_train_300 wrench Detection preview by Segmentation_v8_large_300_train_300
Original Image: P05450.jpg
GT: pliers, wrench
pliers, wrench Detection preview by Box_v11_medium_train_SIXray_OPIXray No objects detected Detection preview by DN_Medium_300_yolov8m_20t7_new wrench Detection preview by Segmentatation_v8_medium_train_250 wrench Detection preview by Segmentation_V11_large_300_train_300 wrench Detection preview by Segmentation_v8_large_300_train_300
Original Image: P05451.jpg
GT: scissors
scissor Detection preview by Box_v11_medium_train_SIXray_OPIXray No objects detected Detection preview by DN_Medium_300_yolov8m_20t7_new scissor Detection preview by Segmentatation_v8_medium_train_250 scissor Detection preview by Segmentation_V11_large_300_train_300 scissor Detection preview by Segmentation_v8_large_300_train_300
Original Image: P05452.jpg
GT: wrench
pliers, wrench Detection preview by Box_v11_medium_train_SIXray_OPIXray No objects detected Detection preview by DN_Medium_300_yolov8m_20t7_new wrench Detection preview by Segmentatation_v8_medium_train_250 wrench Detection preview by Segmentation_V11_large_300_train_300 wrench Detection preview by Segmentation_v8_large_300_train_300
Original Image: P05453.jpg
GT: wrench
wrench Detection preview by Box_v11_medium_train_SIXray_OPIXray No objects detected Detection preview by DN_Medium_300_yolov8m_20t7_new wrench Detection preview by Segmentatation_v8_medium_train_250 wrench Detection preview by Segmentation_V11_large_300_train_300 wrench Detection preview by Segmentation_v8_large_300_train_300
Original Image: P05454.jpg
GT: pliers
pliers Detection preview by Box_v11_medium_train_SIXray_OPIXray pliers Detection preview by DN_Medium_300_yolov8m_20t7_new No objects detected Detection preview by Segmentatation_v8_medium_train_250 No objects detected Detection preview by Segmentation_V11_large_300_train_300 No objects detected Detection preview by Segmentation_v8_large_300_train_300
Original Image: P05455.jpg
GT: pliers
pliers Detection preview by Box_v11_medium_train_SIXray_OPIXray pliers Detection preview by DN_Medium_300_yolov8m_20t7_new No objects detected Detection preview by Segmentatation_v8_medium_train_250 No objects detected Detection preview by Segmentation_V11_large_300_train_300 No objects detected Detection preview by Segmentation_v8_large_300_train_300
Original Image: P05456.jpg
GT: scissors
scissor Detection preview by Box_v11_medium_train_SIXray_OPIXray No objects detected Detection preview by DN_Medium_300_yolov8m_20t7_new scissor Detection preview by Segmentatation_v8_medium_train_250 scissor Detection preview by Segmentation_V11_large_300_train_300 scissor Detection preview by Segmentation_v8_large_300_train_300
Original Image: P05457.jpg
GT: scissors
scissor Detection preview by Box_v11_medium_train_SIXray_OPIXray No objects detected Detection preview by DN_Medium_300_yolov8m_20t7_new scissor Detection preview by Segmentatation_v8_medium_train_250 scissor Detection preview by Segmentation_V11_large_300_train_300 scissor Detection preview by Segmentation_v8_large_300_train_300
Original Image: P05458.jpg
GT: scissors
scissor Detection preview by Box_v11_medium_train_SIXray_OPIXray No objects detected Detection preview by DN_Medium_300_yolov8m_20t7_new scissor Detection preview by Segmentatation_v8_medium_train_250 scissor Detection preview by Segmentation_V11_large_300_train_300 scissor Detection preview by Segmentation_v8_large_300_train_300
Original Image: P05459.jpg
GT: wrench
wrench Detection preview by Box_v11_medium_train_SIXray_OPIXray No objects detected Detection preview by DN_Medium_300_yolov8m_20t7_new wrench Detection preview by Segmentatation_v8_medium_train_250 wrench Detection preview by Segmentation_V11_large_300_train_300 wrench Detection preview by Segmentation_v8_large_300_train_300
Original Image: P05460.jpg
GT: wrench
wrench Detection preview by Box_v11_medium_train_SIXray_OPIXray No objects detected Detection preview by DN_Medium_300_yolov8m_20t7_new wrench Detection preview by Segmentatation_v8_medium_train_250 wrench Detection preview by Segmentation_V11_large_300_train_300 wrench Detection preview by Segmentation_v8_large_300_train_300
Original Image: P05461.jpg
GT: pliers, wrench
pliers, wrench Detection preview by Box_v11_medium_train_SIXray_OPIXray pliers Detection preview by DN_Medium_300_yolov8m_20t7_new wrench Detection preview by Segmentatation_v8_medium_train_250 wrench Detection preview by Segmentation_V11_large_300_train_300 wrench Detection preview by Segmentation_v8_large_300_train_300
Original Image: P05462.jpg
GT: pliers, wrench
pliers, wrench Detection preview by Box_v11_medium_train_SIXray_OPIXray pliers Detection preview by DN_Medium_300_yolov8m_20t7_new wrench Detection preview by Segmentatation_v8_medium_train_250 wrench Detection preview by Segmentation_V11_large_300_train_300 wrench Detection preview by Segmentation_v8_large_300_train_300
Original Image: P05463.jpg
GT: pliers, wrench
pliers, wrench Detection preview by Box_v11_medium_train_SIXray_OPIXray pliers Detection preview by DN_Medium_300_yolov8m_20t7_new wrench Detection preview by Segmentatation_v8_medium_train_250 wrench Detection preview by Segmentation_V11_large_300_train_300 wrench Detection preview by Segmentation_v8_large_300_train_300
Original Image: P05464.jpg
GT: knife
knife Detection preview by Box_v11_medium_train_SIXray_OPIXray No objects detected Detection preview by DN_Medium_300_yolov8m_20t7_new knife Detection preview by Segmentatation_v8_medium_train_250 knife Detection preview by Segmentation_V11_large_300_train_300 knife Detection preview by Segmentation_v8_large_300_train_300
Original Image: P05465.jpg
GT: pliers
pliers Detection preview by Box_v11_medium_train_SIXray_OPIXray No objects detected Detection preview by DN_Medium_300_yolov8m_20t7_new No objects detected Detection preview by Segmentatation_v8_medium_train_250 No objects detected Detection preview by Segmentation_V11_large_300_train_300 No objects detected Detection preview by Segmentation_v8_large_300_train_300
Original Image: P05466.jpg
GT: pliers
pliers Detection preview by Box_v11_medium_train_SIXray_OPIXray No objects detected Detection preview by DN_Medium_300_yolov8m_20t7_new No objects detected Detection preview by Segmentatation_v8_medium_train_250 No objects detected Detection preview by Segmentation_V11_large_300_train_300 No objects detected Detection preview by Segmentation_v8_large_300_train_300
Original Image: P05467.jpg
GT: pliers
pliers Detection preview by Box_v11_medium_train_SIXray_OPIXray No objects detected Detection preview by DN_Medium_300_yolov8m_20t7_new No objects detected Detection preview by Segmentatation_v8_medium_train_250 No objects detected Detection preview by Segmentation_V11_large_300_train_300 No objects detected Detection preview by Segmentation_v8_large_300_train_300
Original Image: P05468.jpg
GT: pliers, wrench
pliers, wrench Detection preview by Box_v11_medium_train_SIXray_OPIXray No objects detected Detection preview by DN_Medium_300_yolov8m_20t7_new wrench Detection preview by Segmentatation_v8_medium_train_250 wrench Detection preview by Segmentation_V11_large_300_train_300 wrench Detection preview by Segmentation_v8_large_300_train_300
Original Image: P05469.jpg
GT: pliers, wrench
pliers, wrench Detection preview by Box_v11_medium_train_SIXray_OPIXray No objects detected Detection preview by DN_Medium_300_yolov8m_20t7_new wrench Detection preview by Segmentatation_v8_medium_train_250 wrench Detection preview by Segmentation_V11_large_300_train_300 wrench Detection preview by Segmentation_v8_large_300_train_300
Original Image: P05470.jpg
GT: pliers, wrench
pliers, wrench Detection preview by Box_v11_medium_train_SIXray_OPIXray No objects detected Detection preview by DN_Medium_300_yolov8m_20t7_new wrench Detection preview by Segmentatation_v8_medium_train_250 wrench Detection preview by Segmentation_V11_large_300_train_300 wrench Detection preview by Segmentation_v8_large_300_train_300
Original Image: P05471.jpg
GT: pliers, wrench
pliers, wrench Detection preview by Box_v11_medium_train_SIXray_OPIXray No objects detected Detection preview by DN_Medium_300_yolov8m_20t7_new wrench Detection preview by Segmentatation_v8_medium_train_250 wrench Detection preview by Segmentation_V11_large_300_train_300 wrench Detection preview by Segmentation_v8_large_300_train_300
Original Image: P05472.jpg
GT: pliers
pliers Detection preview by Box_v11_medium_train_SIXray_OPIXray No objects detected Detection preview by DN_Medium_300_yolov8m_20t7_new No objects detected Detection preview by Segmentatation_v8_medium_train_250 No objects detected Detection preview by Segmentation_V11_large_300_train_300 No objects detected Detection preview by Segmentation_v8_large_300_train_300
Original Image: P05473.jpg
GT: pliers, wrench
pliers, wrench Detection preview by Box_v11_medium_train_SIXray_OPIXray No objects detected Detection preview by DN_Medium_300_yolov8m_20t7_new wrench Detection preview by Segmentatation_v8_medium_train_250 wrench Detection preview by Segmentation_V11_large_300_train_300 wrench Detection preview by Segmentation_v8_large_300_train_300
Original Image: P05474.jpg
GT: pliers, wrench
pliers, wrench Detection preview by Box_v11_medium_train_SIXray_OPIXray No objects detected Detection preview by DN_Medium_300_yolov8m_20t7_new wrench Detection preview by Segmentatation_v8_medium_train_250 wrench Detection preview by Segmentation_V11_large_300_train_300 wrench Detection preview by Segmentation_v8_large_300_train_300
Original Image: P05475.jpg
GT: pliers
pliers Detection preview by Box_v11_medium_train_SIXray_OPIXray No objects detected Detection preview by DN_Medium_300_yolov8m_20t7_new No objects detected Detection preview by Segmentatation_v8_medium_train_250 No objects detected Detection preview by Segmentation_V11_large_300_train_300 No objects detected Detection preview by Segmentation_v8_large_300_train_300
Original Image: P05476.jpg
GT: pliers
pliers Detection preview by Box_v11_medium_train_SIXray_OPIXray No objects detected Detection preview by DN_Medium_300_yolov8m_20t7_new No objects detected Detection preview by Segmentatation_v8_medium_train_250 No objects detected Detection preview by Segmentation_V11_large_300_train_300 No objects detected Detection preview by Segmentation_v8_large_300_train_300
Original Image: P05477.jpg
GT: pliers
pliers Detection preview by Box_v11_medium_train_SIXray_OPIXray pliers Detection preview by DN_Medium_300_yolov8m_20t7_new No objects detected Detection preview by Segmentatation_v8_medium_train_250 No objects detected Detection preview by Segmentation_V11_large_300_train_300 No objects detected Detection preview by Segmentation_v8_large_300_train_300
Original Image: P05478.jpg
GT: pliers
pliers Detection preview by Box_v11_medium_train_SIXray_OPIXray pliers Detection preview by DN_Medium_300_yolov8m_20t7_new No objects detected Detection preview by Segmentatation_v8_medium_train_250 No objects detected Detection preview by Segmentation_V11_large_300_train_300 No objects detected Detection preview by Segmentation_v8_large_300_train_300
Original Image: P05479.jpg
GT: pliers
pliers Detection preview by Box_v11_medium_train_SIXray_OPIXray pliers Detection preview by DN_Medium_300_yolov8m_20t7_new No objects detected Detection preview by Segmentatation_v8_medium_train_250 No objects detected Detection preview by Segmentation_V11_large_300_train_300 No objects detected Detection preview by Segmentation_v8_large_300_train_300
Original Image: P05480.jpg
GT: pliers
pliers Detection preview by Box_v11_medium_train_SIXray_OPIXray pliers Detection preview by DN_Medium_300_yolov8m_20t7_new No objects detected Detection preview by Segmentatation_v8_medium_train_250 No objects detected Detection preview by Segmentation_V11_large_300_train_300 No objects detected Detection preview by Segmentation_v8_large_300_train_300
Original Image: P05481.jpg
GT: pliers, wrench
pliers, wrench Detection preview by Box_v11_medium_train_SIXray_OPIXray No objects detected Detection preview by DN_Medium_300_yolov8m_20t7_new wrench Detection preview by Segmentatation_v8_medium_train_250 wrench Detection preview by Segmentation_V11_large_300_train_300 wrench Detection preview by Segmentation_v8_large_300_train_300
Original Image: P05482.jpg
GT: pliers, wrench
pliers, wrench Detection preview by Box_v11_medium_train_SIXray_OPIXray No objects detected Detection preview by DN_Medium_300_yolov8m_20t7_new wrench Detection preview by Segmentatation_v8_medium_train_250 wrench Detection preview by Segmentation_V11_large_300_train_300 wrench Detection preview by Segmentation_v8_large_300_train_300
Original Image: P05483.jpg
GT: pliers
pliers Detection preview by Box_v11_medium_train_SIXray_OPIXray No objects detected Detection preview by DN_Medium_300_yolov8m_20t7_new No objects detected Detection preview by Segmentatation_v8_medium_train_250 No objects detected Detection preview by Segmentation_V11_large_300_train_300 No objects detected Detection preview by Segmentation_v8_large_300_train_300
Original Image: P05484.jpg
GT: wrench
wrench Detection preview by Box_v11_medium_train_SIXray_OPIXray No objects detected Detection preview by DN_Medium_300_yolov8m_20t7_new wrench Detection preview by Segmentatation_v8_medium_train_250 wrench Detection preview by Segmentation_V11_large_300_train_300 wrench Detection preview by Segmentation_v8_large_300_train_300
Original Image: P05485.jpg
GT: wrench
wrench Detection preview by Box_v11_medium_train_SIXray_OPIXray No objects detected Detection preview by DN_Medium_300_yolov8m_20t7_new wrench Detection preview by Segmentatation_v8_medium_train_250 wrench Detection preview by Segmentation_V11_large_300_train_300 wrench Detection preview by Segmentation_v8_large_300_train_300
Original Image: P05486.jpg
GT: pliers
pliers Detection preview by Box_v11_medium_train_SIXray_OPIXray No objects detected Detection preview by DN_Medium_300_yolov8m_20t7_new No objects detected Detection preview by Segmentatation_v8_medium_train_250 No objects detected Detection preview by Segmentation_V11_large_300_train_300 No objects detected Detection preview by Segmentation_v8_large_300_train_300
Original Image: P05487.jpg
GT: pliers
pliers Detection preview by Box_v11_medium_train_SIXray_OPIXray No objects detected Detection preview by DN_Medium_300_yolov8m_20t7_new No objects detected Detection preview by Segmentatation_v8_medium_train_250 No objects detected Detection preview by Segmentation_V11_large_300_train_300 No objects detected Detection preview by Segmentation_v8_large_300_train_300
Original Image: P05488.jpg
GT: pliers
pliers Detection preview by Box_v11_medium_train_SIXray_OPIXray No objects detected Detection preview by DN_Medium_300_yolov8m_20t7_new No objects detected Detection preview by Segmentatation_v8_medium_train_250 No objects detected Detection preview by Segmentation_V11_large_300_train_300 No objects detected Detection preview by Segmentation_v8_large_300_train_300
Original Image: P05489.jpg
GT: pliers
pliers Detection preview by Box_v11_medium_train_SIXray_OPIXray pliers Detection preview by DN_Medium_300_yolov8m_20t7_new wrench Detection preview by Segmentatation_v8_medium_train_250 No objects detected Detection preview by Segmentation_V11_large_300_train_300 No objects detected Detection preview by Segmentation_v8_large_300_train_300
Original Image: P05490.jpg
GT: wrench
wrench Detection preview by Box_v11_medium_train_SIXray_OPIXray No objects detected Detection preview by DN_Medium_300_yolov8m_20t7_new wrench Detection preview by Segmentatation_v8_medium_train_250 wrench Detection preview by Segmentation_V11_large_300_train_300 wrench Detection preview by Segmentation_v8_large_300_train_300
Original Image: P05491.jpg
GT: wrench
wrench Detection preview by Box_v11_medium_train_SIXray_OPIXray No objects detected Detection preview by DN_Medium_300_yolov8m_20t7_new wrench Detection preview by Segmentatation_v8_medium_train_250 wrench Detection preview by Segmentation_V11_large_300_train_300 wrench Detection preview by Segmentation_v8_large_300_train_300
Original Image: P05492.jpg
GT: knife
knife Detection preview by Box_v11_medium_train_SIXray_OPIXray No objects detected Detection preview by DN_Medium_300_yolov8m_20t7_new knife Detection preview by Segmentatation_v8_medium_train_250 knife Detection preview by Segmentation_V11_large_300_train_300 knife Detection preview by Segmentation_v8_large_300_train_300
Original Image: P05493.jpg
GT: wrench
wrench Detection preview by Box_v11_medium_train_SIXray_OPIXray No objects detected Detection preview by DN_Medium_300_yolov8m_20t7_new wrench Detection preview by Segmentatation_v8_medium_train_250 wrench Detection preview by Segmentation_V11_large_300_train_300 wrench Detection preview by Segmentation_v8_large_300_train_300
Original Image: P05494.jpg
GT: wrench
wrench Detection preview by Box_v11_medium_train_SIXray_OPIXray No objects detected Detection preview by DN_Medium_300_yolov8m_20t7_new wrench Detection preview by Segmentatation_v8_medium_train_250 wrench Detection preview by Segmentation_V11_large_300_train_300 wrench Detection preview by Segmentation_v8_large_300_train_300
Original Image: P05495.jpg
GT: wrench
wrench Detection preview by Box_v11_medium_train_SIXray_OPIXray No objects detected Detection preview by DN_Medium_300_yolov8m_20t7_new wrench Detection preview by Segmentatation_v8_medium_train_250 wrench Detection preview by Segmentation_V11_large_300_train_300 wrench Detection preview by Segmentation_v8_large_300_train_300
Original Image: P05496.jpg
GT: wrench
wrench Detection preview by Box_v11_medium_train_SIXray_OPIXray No objects detected Detection preview by DN_Medium_300_yolov8m_20t7_new wrench Detection preview by Segmentatation_v8_medium_train_250 wrench Detection preview by Segmentation_V11_large_300_train_300 wrench Detection preview by Segmentation_v8_large_300_train_300
Original Image: P05497.jpg
GT: scissors
scissor Detection preview by Box_v11_medium_train_SIXray_OPIXray No objects detected Detection preview by DN_Medium_300_yolov8m_20t7_new scissor Detection preview by Segmentatation_v8_medium_train_250 scissor Detection preview by Segmentation_V11_large_300_train_300 scissor Detection preview by Segmentation_v8_large_300_train_300
Original Image: P05498.jpg
GT: scissors
scissor Detection preview by Box_v11_medium_train_SIXray_OPIXray No objects detected Detection preview by DN_Medium_300_yolov8m_20t7_new scissor Detection preview by Segmentatation_v8_medium_train_250 scissor Detection preview by Segmentation_V11_large_300_train_300 scissor Detection preview by Segmentation_v8_large_300_train_300
Original Image: P05499.jpg
GT: pliers
pliers Detection preview by Box_v11_medium_train_SIXray_OPIXray pliers Detection preview by DN_Medium_300_yolov8m_20t7_new No objects detected Detection preview by Segmentatation_v8_medium_train_250 No objects detected Detection preview by Segmentation_V11_large_300_train_300 No objects detected Detection preview by Segmentation_v8_large_300_train_300
Original Image: P05500.jpg
GT: pliers
pliers Detection preview by Box_v11_medium_train_SIXray_OPIXray No objects detected Detection preview by DN_Medium_300_yolov8m_20t7_new No objects detected Detection preview by Segmentatation_v8_medium_train_250 No objects detected Detection preview by Segmentation_V11_large_300_train_300 No objects detected Detection preview by Segmentation_v8_large_300_train_300
Original Image: P05501.jpg
GT: scissors
scissor Detection preview by Box_v11_medium_train_SIXray_OPIXray No objects detected Detection preview by DN_Medium_300_yolov8m_20t7_new scissor Detection preview by Segmentatation_v8_medium_train_250 scissor Detection preview by Segmentation_V11_large_300_train_300 scissor Detection preview by Segmentation_v8_large_300_train_300
Original Image: P05502.jpg
GT: scissors
scissor Detection preview by Box_v11_medium_train_SIXray_OPIXray No objects detected Detection preview by DN_Medium_300_yolov8m_20t7_new scissor Detection preview by Segmentatation_v8_medium_train_250 scissor Detection preview by Segmentation_V11_large_300_train_300 scissor Detection preview by Segmentation_v8_large_300_train_300
Original Image: P05503.jpg
GT: pliers
pliers Detection preview by Box_v11_medium_train_SIXray_OPIXray No objects detected Detection preview by DN_Medium_300_yolov8m_20t7_new No objects detected Detection preview by Segmentatation_v8_medium_train_250 No objects detected Detection preview by Segmentation_V11_large_300_train_300 No objects detected Detection preview by Segmentation_v8_large_300_train_300
Original Image: P05504.jpg
GT: pliers
pliers Detection preview by Box_v11_medium_train_SIXray_OPIXray No objects detected Detection preview by DN_Medium_300_yolov8m_20t7_new No objects detected Detection preview by Segmentatation_v8_medium_train_250 No objects detected Detection preview by Segmentation_V11_large_300_train_300 No objects detected Detection preview by Segmentation_v8_large_300_train_300
Original Image: P05505.jpg
GT: pliers
pliers Detection preview by Box_v11_medium_train_SIXray_OPIXray No objects detected Detection preview by DN_Medium_300_yolov8m_20t7_new No objects detected Detection preview by Segmentatation_v8_medium_train_250 No objects detected Detection preview by Segmentation_V11_large_300_train_300 No objects detected Detection preview by Segmentation_v8_large_300_train_300
Original Image: P05506.jpg
GT: knife
knife Detection preview by Box_v11_medium_train_SIXray_OPIXray No objects detected Detection preview by DN_Medium_300_yolov8m_20t7_new scissor Detection preview by Segmentatation_v8_medium_train_250 scissor Detection preview by Segmentation_V11_large_300_train_300 scissor Detection preview by Segmentation_v8_large_300_train_300
Original Image: P05507.jpg
GT: knife
knife Detection preview by Box_v11_medium_train_SIXray_OPIXray No objects detected Detection preview by DN_Medium_300_yolov8m_20t7_new scissor Detection preview by Segmentatation_v8_medium_train_250 scissor Detection preview by Segmentation_V11_large_300_train_300 scissor Detection preview by Segmentation_v8_large_300_train_300
Original Image: P05508.jpg
GT: pliers
pliers Detection preview by Box_v11_medium_train_SIXray_OPIXray No objects detected Detection preview by DN_Medium_300_yolov8m_20t7_new No objects detected Detection preview by Segmentatation_v8_medium_train_250 No objects detected Detection preview by Segmentation_V11_large_300_train_300 No objects detected Detection preview by Segmentation_v8_large_300_train_300
Original Image: P05509.jpg
GT: pliers
pliers Detection preview by Box_v11_medium_train_SIXray_OPIXray No objects detected Detection preview by DN_Medium_300_yolov8m_20t7_new No objects detected Detection preview by Segmentatation_v8_medium_train_250 No objects detected Detection preview by Segmentation_V11_large_300_train_300 No objects detected Detection preview by Segmentation_v8_large_300_train_300
Original Image: P05510.jpg
GT: wrench
wrench Detection preview by Box_v11_medium_train_SIXray_OPIXray No objects detected Detection preview by DN_Medium_300_yolov8m_20t7_new wrench Detection preview by Segmentatation_v8_medium_train_250 wrench Detection preview by Segmentation_V11_large_300_train_300 wrench Detection preview by Segmentation_v8_large_300_train_300
Original Image: P05511.jpg
GT: wrench
wrench Detection preview by Box_v11_medium_train_SIXray_OPIXray No objects detected Detection preview by DN_Medium_300_yolov8m_20t7_new wrench Detection preview by Segmentatation_v8_medium_train_250 wrench Detection preview by Segmentation_V11_large_300_train_300 wrench Detection preview by Segmentation_v8_large_300_train_300
Original Image: P05512.jpg
GT: pliers
pliers Detection preview by Box_v11_medium_train_SIXray_OPIXray No objects detected Detection preview by DN_Medium_300_yolov8m_20t7_new No objects detected Detection preview by Segmentatation_v8_medium_train_250 No objects detected Detection preview by Segmentation_V11_large_300_train_300 No objects detected Detection preview by Segmentation_v8_large_300_train_300
Original Image: P05513.jpg
GT: pliers
pliers Detection preview by Box_v11_medium_train_SIXray_OPIXray No objects detected Detection preview by DN_Medium_300_yolov8m_20t7_new No objects detected Detection preview by Segmentatation_v8_medium_train_250 No objects detected Detection preview by Segmentation_V11_large_300_train_300 No objects detected Detection preview by Segmentation_v8_large_300_train_300
Original Image: P05514.jpg
GT: pliers
pliers Detection preview by Box_v11_medium_train_SIXray_OPIXray No objects detected Detection preview by DN_Medium_300_yolov8m_20t7_new No objects detected Detection preview by Segmentatation_v8_medium_train_250 No objects detected Detection preview by Segmentation_V11_large_300_train_300 No objects detected Detection preview by Segmentation_v8_large_300_train_300
Original Image: P05515.jpg
GT: pliers
pliers Detection preview by Box_v11_medium_train_SIXray_OPIXray No objects detected Detection preview by DN_Medium_300_yolov8m_20t7_new No objects detected Detection preview by Segmentatation_v8_medium_train_250 No objects detected Detection preview by Segmentation_V11_large_300_train_300 No objects detected Detection preview by Segmentation_v8_large_300_train_300
Original Image: P05516.jpg
GT: scissors
scissor Detection preview by Box_v11_medium_train_SIXray_OPIXray No objects detected Detection preview by DN_Medium_300_yolov8m_20t7_new scissor Detection preview by Segmentatation_v8_medium_train_250 scissor Detection preview by Segmentation_V11_large_300_train_300 scissor Detection preview by Segmentation_v8_large_300_train_300
Original Image: P05517.jpg
GT: scissors
scissor Detection preview by Box_v11_medium_train_SIXray_OPIXray No objects detected Detection preview by DN_Medium_300_yolov8m_20t7_new scissor Detection preview by Segmentatation_v8_medium_train_250 scissor Detection preview by Segmentation_V11_large_300_train_300 scissor Detection preview by Segmentation_v8_large_300_train_300
Original Image: P05518.jpg
GT: scissors
scissor Detection preview by Box_v11_medium_train_SIXray_OPIXray No objects detected Detection preview by DN_Medium_300_yolov8m_20t7_new scissor Detection preview by Segmentatation_v8_medium_train_250 scissor Detection preview by Segmentation_V11_large_300_train_300 scissor Detection preview by Segmentation_v8_large_300_train_300
Original Image: P05519.jpg
GT: pliers, wrench
pliers, wrench Detection preview by Box_v11_medium_train_SIXray_OPIXray No objects detected Detection preview by DN_Medium_300_yolov8m_20t7_new wrench Detection preview by Segmentatation_v8_medium_train_250 wrench Detection preview by Segmentation_V11_large_300_train_300 wrench Detection preview by Segmentation_v8_large_300_train_300
Original Image: P05520.jpg
GT: wrench
wrench Detection preview by Box_v11_medium_train_SIXray_OPIXray No objects detected Detection preview by DN_Medium_300_yolov8m_20t7_new wrench Detection preview by Segmentatation_v8_medium_train_250 wrench Detection preview by Segmentation_V11_large_300_train_300 wrench Detection preview by Segmentation_v8_large_300_train_300
Original Image: P05521.jpg
GT: wrench
wrench Detection preview by Box_v11_medium_train_SIXray_OPIXray No objects detected Detection preview by DN_Medium_300_yolov8m_20t7_new wrench Detection preview by Segmentatation_v8_medium_train_250 No objects detected Detection preview by Segmentation_V11_large_300_train_300 wrench Detection preview by Segmentation_v8_large_300_train_300
Original Image: P05522.jpg
GT: wrench
wrench Detection preview by Box_v11_medium_train_SIXray_OPIXray No objects detected Detection preview by DN_Medium_300_yolov8m_20t7_new wrench Detection preview by Segmentatation_v8_medium_train_250 wrench Detection preview by Segmentation_V11_large_300_train_300 wrench Detection preview by Segmentation_v8_large_300_train_300
Original Image: P05523.jpg
GT: pliers
pliers Detection preview by Box_v11_medium_train_SIXray_OPIXray No objects detected Detection preview by DN_Medium_300_yolov8m_20t7_new No objects detected Detection preview by Segmentatation_v8_medium_train_250 No objects detected Detection preview by Segmentation_V11_large_300_train_300 No objects detected Detection preview by Segmentation_v8_large_300_train_300
Original Image: P05524.jpg
GT: pliers
pliers Detection preview by Box_v11_medium_train_SIXray_OPIXray No objects detected Detection preview by DN_Medium_300_yolov8m_20t7_new No objects detected Detection preview by Segmentatation_v8_medium_train_250 No objects detected Detection preview by Segmentation_V11_large_300_train_300 No objects detected Detection preview by Segmentation_v8_large_300_train_300
Original Image: P05525.jpg
GT: scissors
scissor Detection preview by Box_v11_medium_train_SIXray_OPIXray scissor Detection preview by DN_Medium_300_yolov8m_20t7_new scissor Detection preview by Segmentatation_v8_medium_train_250 scissor Detection preview by Segmentation_V11_large_300_train_300 scissor Detection preview by Segmentation_v8_large_300_train_300
Original Image: P05526.jpg
GT: pliers
pliers Detection preview by Box_v11_medium_train_SIXray_OPIXray No objects detected Detection preview by DN_Medium_300_yolov8m_20t7_new No objects detected Detection preview by Segmentatation_v8_medium_train_250 No objects detected Detection preview by Segmentation_V11_large_300_train_300 No objects detected Detection preview by Segmentation_v8_large_300_train_300
Original Image: P05527.jpg
GT: pliers
pliers Detection preview by Box_v11_medium_train_SIXray_OPIXray No objects detected Detection preview by DN_Medium_300_yolov8m_20t7_new No objects detected Detection preview by Segmentatation_v8_medium_train_250 No objects detected Detection preview by Segmentation_V11_large_300_train_300 No objects detected Detection preview by Segmentation_v8_large_300_train_300
Original Image: P05528.jpg
GT: wrench
wrench Detection preview by Box_v11_medium_train_SIXray_OPIXray No objects detected Detection preview by DN_Medium_300_yolov8m_20t7_new scissor, wrench Detection preview by Segmentatation_v8_medium_train_250 scissor, wrench Detection preview by Segmentation_V11_large_300_train_300 scissor, wrench Detection preview by Segmentation_v8_large_300_train_300
Original Image: P05529.jpg
GT: knife
knife Detection preview by Box_v11_medium_train_SIXray_OPIXray No objects detected Detection preview by DN_Medium_300_yolov8m_20t7_new knife Detection preview by Segmentatation_v8_medium_train_250 knife Detection preview by Segmentation_V11_large_300_train_300 knife Detection preview by Segmentation_v8_large_300_train_300
Original Image: P05530.jpg
GT: wrench
wrench Detection preview by Box_v11_medium_train_SIXray_OPIXray No objects detected Detection preview by DN_Medium_300_yolov8m_20t7_new wrench Detection preview by Segmentatation_v8_medium_train_250 wrench Detection preview by Segmentation_V11_large_300_train_300 wrench Detection preview by Segmentation_v8_large_300_train_300
Original Image: P05531.jpg
GT: pliers
pliers Detection preview by Box_v11_medium_train_SIXray_OPIXray No objects detected Detection preview by DN_Medium_300_yolov8m_20t7_new No objects detected Detection preview by Segmentatation_v8_medium_train_250 No objects detected Detection preview by Segmentation_V11_large_300_train_300 No objects detected Detection preview by Segmentation_v8_large_300_train_300
Original Image: P05532.jpg
GT: pliers
pliers Detection preview by Box_v11_medium_train_SIXray_OPIXray No objects detected Detection preview by DN_Medium_300_yolov8m_20t7_new No objects detected Detection preview by Segmentatation_v8_medium_train_250 No objects detected Detection preview by Segmentation_V11_large_300_train_300 No objects detected Detection preview by Segmentation_v8_large_300_train_300
Original Image: P05533.jpg
GT: pliers
pliers Detection preview by Box_v11_medium_train_SIXray_OPIXray No objects detected Detection preview by DN_Medium_300_yolov8m_20t7_new No objects detected Detection preview by Segmentatation_v8_medium_train_250 No objects detected Detection preview by Segmentation_V11_large_300_train_300 No objects detected Detection preview by Segmentation_v8_large_300_train_300
Original Image: P05534.jpg
GT: pliers
pliers Detection preview by Box_v11_medium_train_SIXray_OPIXray No objects detected Detection preview by DN_Medium_300_yolov8m_20t7_new No objects detected Detection preview by Segmentatation_v8_medium_train_250 No objects detected Detection preview by Segmentation_V11_large_300_train_300 No objects detected Detection preview by Segmentation_v8_large_300_train_300
Original Image: P05535.jpg
GT: None
No objects detected Detection preview by Box_v11_medium_train_SIXray_OPIXray No objects detected Detection preview by DN_Medium_300_yolov8m_20t7_new No objects detected Detection preview by Segmentatation_v8_medium_train_250 No objects detected Detection preview by Segmentation_V11_large_300_train_300 No objects detected Detection preview by Segmentation_v8_large_300_train_300
Original Image: P05536.jpg
GT: None
No objects detected Detection preview by Box_v11_medium_train_SIXray_OPIXray No objects detected Detection preview by DN_Medium_300_yolov8m_20t7_new No objects detected Detection preview by Segmentatation_v8_medium_train_250 No objects detected Detection preview by Segmentation_V11_large_300_train_300 No objects detected Detection preview by Segmentation_v8_large_300_train_300
Original Image: P05537.jpg
GT: None
No objects detected Detection preview by Box_v11_medium_train_SIXray_OPIXray No objects detected Detection preview by DN_Medium_300_yolov8m_20t7_new No objects detected Detection preview by Segmentatation_v8_medium_train_250 No objects detected Detection preview by Segmentation_V11_large_300_train_300 No objects detected Detection preview by Segmentation_v8_large_300_train_300
Original Image: P05538.jpg
GT: None
No objects detected Detection preview by Box_v11_medium_train_SIXray_OPIXray No objects detected Detection preview by DN_Medium_300_yolov8m_20t7_new No objects detected Detection preview by Segmentatation_v8_medium_train_250 No objects detected Detection preview by Segmentation_V11_large_300_train_300 No objects detected Detection preview by Segmentation_v8_large_300_train_300
Original Image: P05539.jpg
GT: scissors
scissor Detection preview by Box_v11_medium_train_SIXray_OPIXray No objects detected Detection preview by DN_Medium_300_yolov8m_20t7_new scissor Detection preview by Segmentatation_v8_medium_train_250 scissor Detection preview by Segmentation_V11_large_300_train_300 scissor Detection preview by Segmentation_v8_large_300_train_300
Original Image: P05540.jpg
GT: pliers
pliers Detection preview by Box_v11_medium_train_SIXray_OPIXray No objects detected Detection preview by DN_Medium_300_yolov8m_20t7_new No objects detected Detection preview by Segmentatation_v8_medium_train_250 No objects detected Detection preview by Segmentation_V11_large_300_train_300 No objects detected Detection preview by Segmentation_v8_large_300_train_300
Original Image: P05541.jpg
GT: pliers, wrench
pliers, wrench Detection preview by Box_v11_medium_train_SIXray_OPIXray No objects detected Detection preview by DN_Medium_300_yolov8m_20t7_new wrench Detection preview by Segmentatation_v8_medium_train_250 wrench Detection preview by Segmentation_V11_large_300_train_300 wrench Detection preview by Segmentation_v8_large_300_train_300
Original Image: P05542.jpg
GT: wrench
wrench Detection preview by Box_v11_medium_train_SIXray_OPIXray No objects detected Detection preview by DN_Medium_300_yolov8m_20t7_new wrench Detection preview by Segmentatation_v8_medium_train_250 wrench Detection preview by Segmentation_V11_large_300_train_300 wrench Detection preview by Segmentation_v8_large_300_train_300
Original Image: P05543.jpg
GT: wrench
wrench Detection preview by Box_v11_medium_train_SIXray_OPIXray No objects detected Detection preview by DN_Medium_300_yolov8m_20t7_new wrench Detection preview by Segmentatation_v8_medium_train_250 wrench Detection preview by Segmentation_V11_large_300_train_300 wrench Detection preview by Segmentation_v8_large_300_train_300
Original Image: P05544.jpg
GT: scissors
scissor Detection preview by Box_v11_medium_train_SIXray_OPIXray scissor Detection preview by DN_Medium_300_yolov8m_20t7_new scissor Detection preview by Segmentatation_v8_medium_train_250 scissor Detection preview by Segmentation_V11_large_300_train_300 scissor Detection preview by Segmentation_v8_large_300_train_300
Original Image: P05545.jpg
GT: scissors
scissor Detection preview by Box_v11_medium_train_SIXray_OPIXray scissor Detection preview by DN_Medium_300_yolov8m_20t7_new scissor Detection preview by Segmentatation_v8_medium_train_250 scissor Detection preview by Segmentation_V11_large_300_train_300 scissor Detection preview by Segmentation_v8_large_300_train_300
Original Image: P05546.jpg
GT: scissors
scissor Detection preview by Box_v11_medium_train_SIXray_OPIXray scissor Detection preview by DN_Medium_300_yolov8m_20t7_new scissor Detection preview by Segmentatation_v8_medium_train_250 scissor Detection preview by Segmentation_V11_large_300_train_300 scissor Detection preview by Segmentation_v8_large_300_train_300
Original Image: P05547.jpg
GT: wrench
wrench Detection preview by Box_v11_medium_train_SIXray_OPIXray No objects detected Detection preview by DN_Medium_300_yolov8m_20t7_new wrench Detection preview by Segmentatation_v8_medium_train_250 No objects detected Detection preview by Segmentation_V11_large_300_train_300 wrench Detection preview by Segmentation_v8_large_300_train_300
Original Image: P05548.jpg
GT: pliers
pliers Detection preview by Box_v11_medium_train_SIXray_OPIXray pliers Detection preview by DN_Medium_300_yolov8m_20t7_new No objects detected Detection preview by Segmentatation_v8_medium_train_250 No objects detected Detection preview by Segmentation_V11_large_300_train_300 No objects detected Detection preview by Segmentation_v8_large_300_train_300
Original Image: P05549.jpg
GT: pliers
pliers Detection preview by Box_v11_medium_train_SIXray_OPIXray pliers Detection preview by DN_Medium_300_yolov8m_20t7_new No objects detected Detection preview by Segmentatation_v8_medium_train_250 No objects detected Detection preview by Segmentation_V11_large_300_train_300 No objects detected Detection preview by Segmentation_v8_large_300_train_300
Original Image: P05550.jpg
GT: wrench
wrench Detection preview by Box_v11_medium_train_SIXray_OPIXray No objects detected Detection preview by DN_Medium_300_yolov8m_20t7_new wrench Detection preview by Segmentatation_v8_medium_train_250 wrench Detection preview by Segmentation_V11_large_300_train_300 wrench Detection preview by Segmentation_v8_large_300_train_300
Original Image: P05551.jpg
GT: wrench
wrench Detection preview by Box_v11_medium_train_SIXray_OPIXray No objects detected Detection preview by DN_Medium_300_yolov8m_20t7_new wrench Detection preview by Segmentatation_v8_medium_train_250 wrench Detection preview by Segmentation_V11_large_300_train_300 wrench Detection preview by Segmentation_v8_large_300_train_300
Original Image: P05552.jpg
GT: pliers
pliers Detection preview by Box_v11_medium_train_SIXray_OPIXray No objects detected Detection preview by DN_Medium_300_yolov8m_20t7_new No objects detected Detection preview by Segmentatation_v8_medium_train_250 No objects detected Detection preview by Segmentation_V11_large_300_train_300 No objects detected Detection preview by Segmentation_v8_large_300_train_300
Original Image: P05553.jpg
GT: wrench
wrench Detection preview by Box_v11_medium_train_SIXray_OPIXray No objects detected Detection preview by DN_Medium_300_yolov8m_20t7_new wrench Detection preview by Segmentatation_v8_medium_train_250 wrench Detection preview by Segmentation_V11_large_300_train_300 wrench Detection preview by Segmentation_v8_large_300_train_300
Original Image: P05554.jpg
GT: pliers
pliers Detection preview by Box_v11_medium_train_SIXray_OPIXray No objects detected Detection preview by DN_Medium_300_yolov8m_20t7_new No objects detected Detection preview by Segmentatation_v8_medium_train_250 No objects detected Detection preview by Segmentation_V11_large_300_train_300 No objects detected Detection preview by Segmentation_v8_large_300_train_300
Original Image: P05555.jpg
GT: wrench
wrench Detection preview by Box_v11_medium_train_SIXray_OPIXray No objects detected Detection preview by DN_Medium_300_yolov8m_20t7_new wrench Detection preview by Segmentatation_v8_medium_train_250 wrench Detection preview by Segmentation_V11_large_300_train_300 wrench Detection preview by Segmentation_v8_large_300_train_300
Original Image: P05556.jpg
GT: wrench
wrench Detection preview by Box_v11_medium_train_SIXray_OPIXray No objects detected Detection preview by DN_Medium_300_yolov8m_20t7_new wrench Detection preview by Segmentatation_v8_medium_train_250 wrench Detection preview by Segmentation_V11_large_300_train_300 wrench Detection preview by Segmentation_v8_large_300_train_300
Original Image: P05557.jpg
GT: pliers
pliers Detection preview by Box_v11_medium_train_SIXray_OPIXray No objects detected Detection preview by DN_Medium_300_yolov8m_20t7_new No objects detected Detection preview by Segmentatation_v8_medium_train_250 No objects detected Detection preview by Segmentation_V11_large_300_train_300 No objects detected Detection preview by Segmentation_v8_large_300_train_300
Original Image: P05558.jpg
GT: pliers
pliers Detection preview by Box_v11_medium_train_SIXray_OPIXray pliers Detection preview by DN_Medium_300_yolov8m_20t7_new No objects detected Detection preview by Segmentatation_v8_medium_train_250 No objects detected Detection preview by Segmentation_V11_large_300_train_300 No objects detected Detection preview by Segmentation_v8_large_300_train_300
Original Image: P05559.jpg
GT: pliers
pliers Detection preview by Box_v11_medium_train_SIXray_OPIXray pliers Detection preview by DN_Medium_300_yolov8m_20t7_new No objects detected Detection preview by Segmentatation_v8_medium_train_250 No objects detected Detection preview by Segmentation_V11_large_300_train_300 No objects detected Detection preview by Segmentation_v8_large_300_train_300
Original Image: P05560.jpg
GT: pliers
pliers Detection preview by Box_v11_medium_train_SIXray_OPIXray pliers Detection preview by DN_Medium_300_yolov8m_20t7_new No objects detected Detection preview by Segmentatation_v8_medium_train_250 No objects detected Detection preview by Segmentation_V11_large_300_train_300 No objects detected Detection preview by Segmentation_v8_large_300_train_300
Original Image: P05561.jpg
GT: pliers, wrench
pliers, wrench Detection preview by Box_v11_medium_train_SIXray_OPIXray pliers Detection preview by DN_Medium_300_yolov8m_20t7_new wrench Detection preview by Segmentatation_v8_medium_train_250 wrench Detection preview by Segmentation_V11_large_300_train_300 wrench Detection preview by Segmentation_v8_large_300_train_300
Original Image: P05562.jpg
GT: pliers, wrench
pliers, wrench Detection preview by Box_v11_medium_train_SIXray_OPIXray pliers Detection preview by DN_Medium_300_yolov8m_20t7_new wrench Detection preview by Segmentatation_v8_medium_train_250 wrench Detection preview by Segmentation_V11_large_300_train_300 wrench Detection preview by Segmentation_v8_large_300_train_300
Original Image: P05563.jpg
GT: pliers, wrench
pliers, wrench Detection preview by Box_v11_medium_train_SIXray_OPIXray pliers Detection preview by DN_Medium_300_yolov8m_20t7_new wrench Detection preview by Segmentatation_v8_medium_train_250 wrench Detection preview by Segmentation_V11_large_300_train_300 wrench Detection preview by Segmentation_v8_large_300_train_300
Original Image: P05564.jpg
GT: pliers
pliers Detection preview by Box_v11_medium_train_SIXray_OPIXray No objects detected Detection preview by DN_Medium_300_yolov8m_20t7_new No objects detected Detection preview by Segmentatation_v8_medium_train_250 No objects detected Detection preview by Segmentation_V11_large_300_train_300 No objects detected Detection preview by Segmentation_v8_large_300_train_300
Original Image: P05565.jpg
GT: pliers, scissors
pliers, scissor Detection preview by Box_v11_medium_train_SIXray_OPIXray No objects detected Detection preview by DN_Medium_300_yolov8m_20t7_new scissor Detection preview by Segmentatation_v8_medium_train_250 scissor Detection preview by Segmentation_V11_large_300_train_300 scissor Detection preview by Segmentation_v8_large_300_train_300
Original Image: P05566.jpg
GT: pliers
pliers Detection preview by Box_v11_medium_train_SIXray_OPIXray No objects detected Detection preview by DN_Medium_300_yolov8m_20t7_new No objects detected Detection preview by Segmentatation_v8_medium_train_250 No objects detected Detection preview by Segmentation_V11_large_300_train_300 No objects detected Detection preview by Segmentation_v8_large_300_train_300
Original Image: P05567.jpg
GT: pliers
pliers Detection preview by Box_v11_medium_train_SIXray_OPIXray No objects detected Detection preview by DN_Medium_300_yolov8m_20t7_new No objects detected Detection preview by Segmentatation_v8_medium_train_250 No objects detected Detection preview by Segmentation_V11_large_300_train_300 No objects detected Detection preview by Segmentation_v8_large_300_train_300
Original Image: P05568.jpg
GT: scissors
scissor Detection preview by Box_v11_medium_train_SIXray_OPIXray No objects detected Detection preview by DN_Medium_300_yolov8m_20t7_new scissor Detection preview by Segmentatation_v8_medium_train_250 scissor Detection preview by Segmentation_V11_large_300_train_300 scissor Detection preview by Segmentation_v8_large_300_train_300
Original Image: P05569.jpg
GT: scissors
scissor Detection preview by Box_v11_medium_train_SIXray_OPIXray No objects detected Detection preview by DN_Medium_300_yolov8m_20t7_new scissor Detection preview by Segmentatation_v8_medium_train_250 scissor Detection preview by Segmentation_V11_large_300_train_300 scissor Detection preview by Segmentation_v8_large_300_train_300
Original Image: P05570.jpg
GT: pliers
pliers Detection preview by Box_v11_medium_train_SIXray_OPIXray No objects detected Detection preview by DN_Medium_300_yolov8m_20t7_new No objects detected Detection preview by Segmentatation_v8_medium_train_250 No objects detected Detection preview by Segmentation_V11_large_300_train_300 No objects detected Detection preview by Segmentation_v8_large_300_train_300
Original Image: P05571.jpg
GT: pliers
pliers Detection preview by Box_v11_medium_train_SIXray_OPIXray No objects detected Detection preview by DN_Medium_300_yolov8m_20t7_new No objects detected Detection preview by Segmentatation_v8_medium_train_250 No objects detected Detection preview by Segmentation_V11_large_300_train_300 No objects detected Detection preview by Segmentation_v8_large_300_train_300
Original Image: P05572.jpg
GT: pliers
pliers Detection preview by Box_v11_medium_train_SIXray_OPIXray No objects detected Detection preview by DN_Medium_300_yolov8m_20t7_new No objects detected Detection preview by Segmentatation_v8_medium_train_250 No objects detected Detection preview by Segmentation_V11_large_300_train_300 No objects detected Detection preview by Segmentation_v8_large_300_train_300
Original Image: P05573.jpg
GT: pliers
pliers Detection preview by Box_v11_medium_train_SIXray_OPIXray No objects detected Detection preview by DN_Medium_300_yolov8m_20t7_new No objects detected Detection preview by Segmentatation_v8_medium_train_250 No objects detected Detection preview by Segmentation_V11_large_300_train_300 No objects detected Detection preview by Segmentation_v8_large_300_train_300
Original Image: P05574.jpg
GT: pliers
pliers Detection preview by Box_v11_medium_train_SIXray_OPIXray No objects detected Detection preview by DN_Medium_300_yolov8m_20t7_new No objects detected Detection preview by Segmentatation_v8_medium_train_250 No objects detected Detection preview by Segmentation_V11_large_300_train_300 No objects detected Detection preview by Segmentation_v8_large_300_train_300
Original Image: P05575.jpg
GT: scissors
scissor Detection preview by Box_v11_medium_train_SIXray_OPIXray No objects detected Detection preview by DN_Medium_300_yolov8m_20t7_new wrench Detection preview by Segmentatation_v8_medium_train_250 No objects detected Detection preview by Segmentation_V11_large_300_train_300 No objects detected Detection preview by Segmentation_v8_large_300_train_300
Original Image: P05576.jpg
GT: scissors
scissor Detection preview by Box_v11_medium_train_SIXray_OPIXray No objects detected Detection preview by DN_Medium_300_yolov8m_20t7_new scissor Detection preview by Segmentatation_v8_medium_train_250 scissor Detection preview by Segmentation_V11_large_300_train_300 scissor Detection preview by Segmentation_v8_large_300_train_300
Original Image: P05577.jpg
GT: knife
knife Detection preview by Box_v11_medium_train_SIXray_OPIXray No objects detected Detection preview by DN_Medium_300_yolov8m_20t7_new knife Detection preview by Segmentatation_v8_medium_train_250 knife Detection preview by Segmentation_V11_large_300_train_300 knife Detection preview by Segmentation_v8_large_300_train_300
Original Image: P05578.jpg
GT: knife
knife Detection preview by Box_v11_medium_train_SIXray_OPIXray No objects detected Detection preview by DN_Medium_300_yolov8m_20t7_new knife Detection preview by Segmentatation_v8_medium_train_250 knife Detection preview by Segmentation_V11_large_300_train_300 knife Detection preview by Segmentation_v8_large_300_train_300
Original Image: P05579.jpg
GT: knife
knife Detection preview by Box_v11_medium_train_SIXray_OPIXray No objects detected Detection preview by DN_Medium_300_yolov8m_20t7_new knife Detection preview by Segmentatation_v8_medium_train_250 knife Detection preview by Segmentation_V11_large_300_train_300 knife Detection preview by Segmentation_v8_large_300_train_300
Original Image: P05580.jpg
GT: knife
knife Detection preview by Box_v11_medium_train_SIXray_OPIXray No objects detected Detection preview by DN_Medium_300_yolov8m_20t7_new knife Detection preview by Segmentatation_v8_medium_train_250 knife Detection preview by Segmentation_V11_large_300_train_300 knife Detection preview by Segmentation_v8_large_300_train_300
Original Image: P05581.jpg
GT: wrench
wrench Detection preview by Box_v11_medium_train_SIXray_OPIXray No objects detected Detection preview by DN_Medium_300_yolov8m_20t7_new wrench Detection preview by Segmentatation_v8_medium_train_250 wrench Detection preview by Segmentation_V11_large_300_train_300 wrench Detection preview by Segmentation_v8_large_300_train_300
Original Image: P05582.jpg
GT: wrench
wrench Detection preview by Box_v11_medium_train_SIXray_OPIXray No objects detected Detection preview by DN_Medium_300_yolov8m_20t7_new wrench Detection preview by Segmentatation_v8_medium_train_250 wrench Detection preview by Segmentation_V11_large_300_train_300 wrench Detection preview by Segmentation_v8_large_300_train_300
Original Image: P05583.jpg
GT: wrench
wrench Detection preview by Box_v11_medium_train_SIXray_OPIXray No objects detected Detection preview by DN_Medium_300_yolov8m_20t7_new wrench Detection preview by Segmentatation_v8_medium_train_250 wrench Detection preview by Segmentation_V11_large_300_train_300 wrench Detection preview by Segmentation_v8_large_300_train_300
Original Image: P05584.jpg
GT: wrench
wrench Detection preview by Box_v11_medium_train_SIXray_OPIXray No objects detected Detection preview by DN_Medium_300_yolov8m_20t7_new wrench Detection preview by Segmentatation_v8_medium_train_250 wrench Detection preview by Segmentation_V11_large_300_train_300 wrench Detection preview by Segmentation_v8_large_300_train_300
Original Image: P05585.jpg
GT: wrench
wrench Detection preview by Box_v11_medium_train_SIXray_OPIXray No objects detected Detection preview by DN_Medium_300_yolov8m_20t7_new wrench Detection preview by Segmentatation_v8_medium_train_250 wrench Detection preview by Segmentation_V11_large_300_train_300 wrench Detection preview by Segmentation_v8_large_300_train_300
Original Image: P05586.jpg
GT: wrench
wrench Detection preview by Box_v11_medium_train_SIXray_OPIXray No objects detected Detection preview by DN_Medium_300_yolov8m_20t7_new wrench Detection preview by Segmentatation_v8_medium_train_250 wrench Detection preview by Segmentation_V11_large_300_train_300 wrench Detection preview by Segmentation_v8_large_300_train_300
Original Image: P05587.jpg
GT: pliers
pliers Detection preview by Box_v11_medium_train_SIXray_OPIXray No objects detected Detection preview by DN_Medium_300_yolov8m_20t7_new No objects detected Detection preview by Segmentatation_v8_medium_train_250 No objects detected Detection preview by Segmentation_V11_large_300_train_300 No objects detected Detection preview by Segmentation_v8_large_300_train_300
Original Image: P05588.jpg
GT: pliers
pliers Detection preview by Box_v11_medium_train_SIXray_OPIXray No objects detected Detection preview by DN_Medium_300_yolov8m_20t7_new No objects detected Detection preview by Segmentatation_v8_medium_train_250 No objects detected Detection preview by Segmentation_V11_large_300_train_300 No objects detected Detection preview by Segmentation_v8_large_300_train_300
Original Image: P05589.jpg
GT: pliers
pliers Detection preview by Box_v11_medium_train_SIXray_OPIXray No objects detected Detection preview by DN_Medium_300_yolov8m_20t7_new No objects detected Detection preview by Segmentatation_v8_medium_train_250 No objects detected Detection preview by Segmentation_V11_large_300_train_300 No objects detected Detection preview by Segmentation_v8_large_300_train_300
Original Image: P05590.jpg
GT: pliers
pliers Detection preview by Box_v11_medium_train_SIXray_OPIXray No objects detected Detection preview by DN_Medium_300_yolov8m_20t7_new No objects detected Detection preview by Segmentatation_v8_medium_train_250 No objects detected Detection preview by Segmentation_V11_large_300_train_300 No objects detected Detection preview by Segmentation_v8_large_300_train_300
Original Image: P05591.jpg
GT: pliers
pliers Detection preview by Box_v11_medium_train_SIXray_OPIXray No objects detected Detection preview by DN_Medium_300_yolov8m_20t7_new No objects detected Detection preview by Segmentatation_v8_medium_train_250 No objects detected Detection preview by Segmentation_V11_large_300_train_300 No objects detected Detection preview by Segmentation_v8_large_300_train_300
Original Image: P05592.jpg
GT: None
No objects detected Detection preview by Box_v11_medium_train_SIXray_OPIXray No objects detected Detection preview by DN_Medium_300_yolov8m_20t7_new No objects detected Detection preview by Segmentatation_v8_medium_train_250 No objects detected Detection preview by Segmentation_V11_large_300_train_300 No objects detected Detection preview by Segmentation_v8_large_300_train_300
Original Image: P05593.jpg
GT: scissors
scissor Detection preview by Box_v11_medium_train_SIXray_OPIXray No objects detected Detection preview by DN_Medium_300_yolov8m_20t7_new scissor Detection preview by Segmentatation_v8_medium_train_250 scissor Detection preview by Segmentation_V11_large_300_train_300 scissor Detection preview by Segmentation_v8_large_300_train_300
Original Image: P05594.jpg
GT: pliers
pliers Detection preview by Box_v11_medium_train_SIXray_OPIXray pliers Detection preview by DN_Medium_300_yolov8m_20t7_new No objects detected Detection preview by Segmentatation_v8_medium_train_250 No objects detected Detection preview by Segmentation_V11_large_300_train_300 No objects detected Detection preview by Segmentation_v8_large_300_train_300
Original Image: P05595.jpg
GT: pliers
pliers Detection preview by Box_v11_medium_train_SIXray_OPIXray pliers Detection preview by DN_Medium_300_yolov8m_20t7_new No objects detected Detection preview by Segmentatation_v8_medium_train_250 No objects detected Detection preview by Segmentation_V11_large_300_train_300 No objects detected Detection preview by Segmentation_v8_large_300_train_300
Original Image: P05596.jpg
GT: pliers
pliers Detection preview by Box_v11_medium_train_SIXray_OPIXray pliers Detection preview by DN_Medium_300_yolov8m_20t7_new No objects detected Detection preview by Segmentatation_v8_medium_train_250 No objects detected Detection preview by Segmentation_V11_large_300_train_300 No objects detected Detection preview by Segmentation_v8_large_300_train_300
Original Image: P05597.jpg
GT: scissors
scissor Detection preview by Box_v11_medium_train_SIXray_OPIXray scissor Detection preview by DN_Medium_300_yolov8m_20t7_new scissor Detection preview by Segmentatation_v8_medium_train_250 scissor Detection preview by Segmentation_V11_large_300_train_300 scissor Detection preview by Segmentation_v8_large_300_train_300
Original Image: P05598.jpg
GT: scissors
scissor Detection preview by Box_v11_medium_train_SIXray_OPIXray scissor Detection preview by DN_Medium_300_yolov8m_20t7_new scissor Detection preview by Segmentatation_v8_medium_train_250 scissor Detection preview by Segmentation_V11_large_300_train_300 scissor Detection preview by Segmentation_v8_large_300_train_300
Original Image: P05599.jpg
GT: pliers
pliers Detection preview by Box_v11_medium_train_SIXray_OPIXray No objects detected Detection preview by DN_Medium_300_yolov8m_20t7_new No objects detected Detection preview by Segmentatation_v8_medium_train_250 No objects detected Detection preview by Segmentation_V11_large_300_train_300 No objects detected Detection preview by Segmentation_v8_large_300_train_300
Original Image: P05600.jpg
GT: wrench
wrench Detection preview by Box_v11_medium_train_SIXray_OPIXray No objects detected Detection preview by DN_Medium_300_yolov8m_20t7_new wrench Detection preview by Segmentatation_v8_medium_train_250 wrench Detection preview by Segmentation_V11_large_300_train_300 wrench Detection preview by Segmentation_v8_large_300_train_300
Original Image: P05601.jpg
GT: wrench
wrench Detection preview by Box_v11_medium_train_SIXray_OPIXray No objects detected Detection preview by DN_Medium_300_yolov8m_20t7_new wrench Detection preview by Segmentatation_v8_medium_train_250 wrench Detection preview by Segmentation_V11_large_300_train_300 wrench Detection preview by Segmentation_v8_large_300_train_300
Original Image: P05602.jpg
GT: pliers
pliers Detection preview by Box_v11_medium_train_SIXray_OPIXray No objects detected Detection preview by DN_Medium_300_yolov8m_20t7_new No objects detected Detection preview by Segmentatation_v8_medium_train_250 No objects detected Detection preview by Segmentation_V11_large_300_train_300 No objects detected Detection preview by Segmentation_v8_large_300_train_300
Original Image: P05603.jpg
GT: pliers
pliers Detection preview by Box_v11_medium_train_SIXray_OPIXray No objects detected Detection preview by DN_Medium_300_yolov8m_20t7_new No objects detected Detection preview by Segmentatation_v8_medium_train_250 No objects detected Detection preview by Segmentation_V11_large_300_train_300 No objects detected Detection preview by Segmentation_v8_large_300_train_300
Original Image: P05604.jpg
GT: pliers
pliers Detection preview by Box_v11_medium_train_SIXray_OPIXray pliers Detection preview by DN_Medium_300_yolov8m_20t7_new No objects detected Detection preview by Segmentatation_v8_medium_train_250 No objects detected Detection preview by Segmentation_V11_large_300_train_300 No objects detected Detection preview by Segmentation_v8_large_300_train_300
Original Image: P05605.jpg
GT: wrench
wrench Detection preview by Box_v11_medium_train_SIXray_OPIXray No objects detected Detection preview by DN_Medium_300_yolov8m_20t7_new wrench Detection preview by Segmentatation_v8_medium_train_250 wrench Detection preview by Segmentation_V11_large_300_train_300 wrench Detection preview by Segmentation_v8_large_300_train_300
Original Image: P05606.jpg
GT: wrench
wrench Detection preview by Box_v11_medium_train_SIXray_OPIXray No objects detected Detection preview by DN_Medium_300_yolov8m_20t7_new wrench Detection preview by Segmentatation_v8_medium_train_250 wrench Detection preview by Segmentation_V11_large_300_train_300 wrench Detection preview by Segmentation_v8_large_300_train_300
Original Image: P05607.jpg
GT: wrench
wrench Detection preview by Box_v11_medium_train_SIXray_OPIXray No objects detected Detection preview by DN_Medium_300_yolov8m_20t7_new wrench Detection preview by Segmentatation_v8_medium_train_250 wrench Detection preview by Segmentation_V11_large_300_train_300 wrench Detection preview by Segmentation_v8_large_300_train_300
Original Image: P05608.jpg
GT: wrench
wrench Detection preview by Box_v11_medium_train_SIXray_OPIXray No objects detected Detection preview by DN_Medium_300_yolov8m_20t7_new wrench Detection preview by Segmentatation_v8_medium_train_250 wrench Detection preview by Segmentation_V11_large_300_train_300 wrench Detection preview by Segmentation_v8_large_300_train_300
Original Image: P05609.jpg
GT: wrench
wrench Detection preview by Box_v11_medium_train_SIXray_OPIXray No objects detected Detection preview by DN_Medium_300_yolov8m_20t7_new wrench Detection preview by Segmentatation_v8_medium_train_250 wrench Detection preview by Segmentation_V11_large_300_train_300 wrench Detection preview by Segmentation_v8_large_300_train_300
Original Image: P05610.jpg
GT: pliers
pliers Detection preview by Box_v11_medium_train_SIXray_OPIXray No objects detected Detection preview by DN_Medium_300_yolov8m_20t7_new No objects detected Detection preview by Segmentatation_v8_medium_train_250 No objects detected Detection preview by Segmentation_V11_large_300_train_300 No objects detected Detection preview by Segmentation_v8_large_300_train_300
Original Image: P05611.jpg
GT: pliers
pliers Detection preview by Box_v11_medium_train_SIXray_OPIXray No objects detected Detection preview by DN_Medium_300_yolov8m_20t7_new No objects detected Detection preview by Segmentatation_v8_medium_train_250 No objects detected Detection preview by Segmentation_V11_large_300_train_300 No objects detected Detection preview by Segmentation_v8_large_300_train_300
Original Image: P05612.jpg
GT: pliers
pliers Detection preview by Box_v11_medium_train_SIXray_OPIXray No objects detected Detection preview by DN_Medium_300_yolov8m_20t7_new No objects detected Detection preview by Segmentatation_v8_medium_train_250 No objects detected Detection preview by Segmentation_V11_large_300_train_300 No objects detected Detection preview by Segmentation_v8_large_300_train_300
Original Image: P05613.jpg
GT: pliers
pliers Detection preview by Box_v11_medium_train_SIXray_OPIXray No objects detected Detection preview by DN_Medium_300_yolov8m_20t7_new No objects detected Detection preview by Segmentatation_v8_medium_train_250 No objects detected Detection preview by Segmentation_V11_large_300_train_300 No objects detected Detection preview by Segmentation_v8_large_300_train_300
Original Image: P05614.jpg
GT: scissors
scissor Detection preview by Box_v11_medium_train_SIXray_OPIXray No objects detected Detection preview by DN_Medium_300_yolov8m_20t7_new scissor Detection preview by Segmentatation_v8_medium_train_250 scissor Detection preview by Segmentation_V11_large_300_train_300 scissor Detection preview by Segmentation_v8_large_300_train_300
Original Image: P05615.jpg
GT: scissors
scissor Detection preview by Box_v11_medium_train_SIXray_OPIXray No objects detected Detection preview by DN_Medium_300_yolov8m_20t7_new scissor Detection preview by Segmentatation_v8_medium_train_250 scissor Detection preview by Segmentation_V11_large_300_train_300 scissor Detection preview by Segmentation_v8_large_300_train_300
Original Image: P05616.jpg
GT: scissors
scissor Detection preview by Box_v11_medium_train_SIXray_OPIXray No objects detected Detection preview by DN_Medium_300_yolov8m_20t7_new scissor Detection preview by Segmentatation_v8_medium_train_250 scissor Detection preview by Segmentation_V11_large_300_train_300 scissor Detection preview by Segmentation_v8_large_300_train_300
Original Image: P05617.jpg
GT: scissors
scissor Detection preview by Box_v11_medium_train_SIXray_OPIXray No objects detected Detection preview by DN_Medium_300_yolov8m_20t7_new scissor Detection preview by Segmentatation_v8_medium_train_250 scissor Detection preview by Segmentation_V11_large_300_train_300 scissor Detection preview by Segmentation_v8_large_300_train_300
Original Image: P05618.jpg
GT: pliers
pliers Detection preview by Box_v11_medium_train_SIXray_OPIXray No objects detected Detection preview by DN_Medium_300_yolov8m_20t7_new No objects detected Detection preview by Segmentatation_v8_medium_train_250 No objects detected Detection preview by Segmentation_V11_large_300_train_300 No objects detected Detection preview by Segmentation_v8_large_300_train_300
Original Image: P05619.jpg
GT: pliers
pliers Detection preview by Box_v11_medium_train_SIXray_OPIXray No objects detected Detection preview by DN_Medium_300_yolov8m_20t7_new No objects detected Detection preview by Segmentatation_v8_medium_train_250 No objects detected Detection preview by Segmentation_V11_large_300_train_300 No objects detected Detection preview by Segmentation_v8_large_300_train_300
Original Image: P05620.jpg
GT: pliers
pliers Detection preview by Box_v11_medium_train_SIXray_OPIXray No objects detected Detection preview by DN_Medium_300_yolov8m_20t7_new No objects detected Detection preview by Segmentatation_v8_medium_train_250 No objects detected Detection preview by Segmentation_V11_large_300_train_300 No objects detected Detection preview by Segmentation_v8_large_300_train_300
Original Image: P05621.jpg
GT: pliers
pliers Detection preview by Box_v11_medium_train_SIXray_OPIXray No objects detected Detection preview by DN_Medium_300_yolov8m_20t7_new No objects detected Detection preview by Segmentatation_v8_medium_train_250 No objects detected Detection preview by Segmentation_V11_large_300_train_300 No objects detected Detection preview by Segmentation_v8_large_300_train_300
Original Image: P05622.jpg
GT: scissors
scissor Detection preview by Box_v11_medium_train_SIXray_OPIXray No objects detected Detection preview by DN_Medium_300_yolov8m_20t7_new scissor Detection preview by Segmentatation_v8_medium_train_250 scissor Detection preview by Segmentation_V11_large_300_train_300 scissor Detection preview by Segmentation_v8_large_300_train_300
Original Image: P05623.jpg
GT: scissors
scissor Detection preview by Box_v11_medium_train_SIXray_OPIXray scissor Detection preview by DN_Medium_300_yolov8m_20t7_new scissor Detection preview by Segmentatation_v8_medium_train_250 scissor Detection preview by Segmentation_V11_large_300_train_300 scissor Detection preview by Segmentation_v8_large_300_train_300
Original Image: P05624.jpg
GT: scissors
scissor Detection preview by Box_v11_medium_train_SIXray_OPIXray No objects detected Detection preview by DN_Medium_300_yolov8m_20t7_new scissor Detection preview by Segmentatation_v8_medium_train_250 scissor Detection preview by Segmentation_V11_large_300_train_300 scissor Detection preview by Segmentation_v8_large_300_train_300
Original Image: P05625.jpg
GT: pliers
pliers Detection preview by Box_v11_medium_train_SIXray_OPIXray No objects detected Detection preview by DN_Medium_300_yolov8m_20t7_new No objects detected Detection preview by Segmentatation_v8_medium_train_250 No objects detected Detection preview by Segmentation_V11_large_300_train_300 No objects detected Detection preview by Segmentation_v8_large_300_train_300
Original Image: P05626.jpg
GT: pliers, wrench
pliers, wrench Detection preview by Box_v11_medium_train_SIXray_OPIXray pliers, wrench Detection preview by DN_Medium_300_yolov8m_20t7_new wrench Detection preview by Segmentatation_v8_medium_train_250 wrench Detection preview by Segmentation_V11_large_300_train_300 wrench Detection preview by Segmentation_v8_large_300_train_300
Original Image: P05627.jpg
GT: pliers
pliers Detection preview by Box_v11_medium_train_SIXray_OPIXray No objects detected Detection preview by DN_Medium_300_yolov8m_20t7_new No objects detected Detection preview by Segmentatation_v8_medium_train_250 No objects detected Detection preview by Segmentation_V11_large_300_train_300 No objects detected Detection preview by Segmentation_v8_large_300_train_300
Original Image: P05628.jpg
GT: wrench
wrench Detection preview by Box_v11_medium_train_SIXray_OPIXray scissor, wrench Detection preview by DN_Medium_300_yolov8m_20t7_new wrench Detection preview by Segmentatation_v8_medium_train_250 wrench Detection preview by Segmentation_V11_large_300_train_300 wrench Detection preview by Segmentation_v8_large_300_train_300
Original Image: P05629.jpg
GT: pliers, wrench
pliers, wrench Detection preview by Box_v11_medium_train_SIXray_OPIXray No objects detected Detection preview by DN_Medium_300_yolov8m_20t7_new wrench Detection preview by Segmentatation_v8_medium_train_250 wrench Detection preview by Segmentation_V11_large_300_train_300 wrench Detection preview by Segmentation_v8_large_300_train_300
Original Image: P05630.jpg
GT: pliers
pliers Detection preview by Box_v11_medium_train_SIXray_OPIXray No objects detected Detection preview by DN_Medium_300_yolov8m_20t7_new No objects detected Detection preview by Segmentatation_v8_medium_train_250 No objects detected Detection preview by Segmentation_V11_large_300_train_300 No objects detected Detection preview by Segmentation_v8_large_300_train_300
Original Image: P05631.jpg
GT: pliers
pliers Detection preview by Box_v11_medium_train_SIXray_OPIXray No objects detected Detection preview by DN_Medium_300_yolov8m_20t7_new No objects detected Detection preview by Segmentatation_v8_medium_train_250 No objects detected Detection preview by Segmentation_V11_large_300_train_300 No objects detected Detection preview by Segmentation_v8_large_300_train_300
Original Image: P05632.jpg
GT: pliers
pliers Detection preview by Box_v11_medium_train_SIXray_OPIXray No objects detected Detection preview by DN_Medium_300_yolov8m_20t7_new No objects detected Detection preview by Segmentatation_v8_medium_train_250 No objects detected Detection preview by Segmentation_V11_large_300_train_300 No objects detected Detection preview by Segmentation_v8_large_300_train_300
Original Image: P05633.jpg
GT: pliers
pliers Detection preview by Box_v11_medium_train_SIXray_OPIXray No objects detected Detection preview by DN_Medium_300_yolov8m_20t7_new No objects detected Detection preview by Segmentatation_v8_medium_train_250 No objects detected Detection preview by Segmentation_V11_large_300_train_300 No objects detected Detection preview by Segmentation_v8_large_300_train_300
Original Image: P05634.jpg
GT: pliers
pliers Detection preview by Box_v11_medium_train_SIXray_OPIXray No objects detected Detection preview by DN_Medium_300_yolov8m_20t7_new No objects detected Detection preview by Segmentatation_v8_medium_train_250 No objects detected Detection preview by Segmentation_V11_large_300_train_300 No objects detected Detection preview by Segmentation_v8_large_300_train_300
Original Image: P05635.jpg
GT: pliers
pliers Detection preview by Box_v11_medium_train_SIXray_OPIXray No objects detected Detection preview by DN_Medium_300_yolov8m_20t7_new No objects detected Detection preview by Segmentatation_v8_medium_train_250 No objects detected Detection preview by Segmentation_V11_large_300_train_300 No objects detected Detection preview by Segmentation_v8_large_300_train_300
Original Image: P05636.jpg
GT: pliers
pliers Detection preview by Box_v11_medium_train_SIXray_OPIXray No objects detected Detection preview by DN_Medium_300_yolov8m_20t7_new No objects detected Detection preview by Segmentatation_v8_medium_train_250 No objects detected Detection preview by Segmentation_V11_large_300_train_300 No objects detected Detection preview by Segmentation_v8_large_300_train_300
Original Image: P05637.jpg
GT: pliers, wrench
pliers, wrench Detection preview by Box_v11_medium_train_SIXray_OPIXray No objects detected Detection preview by DN_Medium_300_yolov8m_20t7_new wrench Detection preview by Segmentatation_v8_medium_train_250 wrench Detection preview by Segmentation_V11_large_300_train_300 wrench Detection preview by Segmentation_v8_large_300_train_300
Original Image: P05638.jpg
GT: pliers, wrench
pliers, wrench Detection preview by Box_v11_medium_train_SIXray_OPIXray No objects detected Detection preview by DN_Medium_300_yolov8m_20t7_new wrench Detection preview by Segmentatation_v8_medium_train_250 wrench Detection preview by Segmentation_V11_large_300_train_300 wrench Detection preview by Segmentation_v8_large_300_train_300
Original Image: P05639.jpg
GT: scissors
scissor Detection preview by Box_v11_medium_train_SIXray_OPIXray No objects detected Detection preview by DN_Medium_300_yolov8m_20t7_new scissor Detection preview by Segmentatation_v8_medium_train_250 scissor Detection preview by Segmentation_V11_large_300_train_300 scissor Detection preview by Segmentation_v8_large_300_train_300
Original Image: P05640.jpg
GT: wrench
wrench Detection preview by Box_v11_medium_train_SIXray_OPIXray No objects detected Detection preview by DN_Medium_300_yolov8m_20t7_new wrench Detection preview by Segmentatation_v8_medium_train_250 wrench Detection preview by Segmentation_V11_large_300_train_300 wrench Detection preview by Segmentation_v8_large_300_train_300
Original Image: P05641.jpg
GT: wrench
wrench Detection preview by Box_v11_medium_train_SIXray_OPIXray No objects detected Detection preview by DN_Medium_300_yolov8m_20t7_new wrench Detection preview by Segmentatation_v8_medium_train_250 wrench Detection preview by Segmentation_V11_large_300_train_300 wrench Detection preview by Segmentation_v8_large_300_train_300
Original Image: P05642.jpg
GT: pliers, wrench
pliers, wrench Detection preview by Box_v11_medium_train_SIXray_OPIXray pliers Detection preview by DN_Medium_300_yolov8m_20t7_new wrench Detection preview by Segmentatation_v8_medium_train_250 wrench Detection preview by Segmentation_V11_large_300_train_300 wrench Detection preview by Segmentation_v8_large_300_train_300
Original Image: P05643.jpg
GT: pliers, wrench
pliers, wrench Detection preview by Box_v11_medium_train_SIXray_OPIXray No objects detected Detection preview by DN_Medium_300_yolov8m_20t7_new wrench Detection preview by Segmentatation_v8_medium_train_250 wrench Detection preview by Segmentation_V11_large_300_train_300 No objects detected Detection preview by Segmentation_v8_large_300_train_300
Original Image: P05644.jpg
GT: pliers
pliers Detection preview by Box_v11_medium_train_SIXray_OPIXray No objects detected Detection preview by DN_Medium_300_yolov8m_20t7_new No objects detected Detection preview by Segmentatation_v8_medium_train_250 No objects detected Detection preview by Segmentation_V11_large_300_train_300 No objects detected Detection preview by Segmentation_v8_large_300_train_300
Original Image: P05645.jpg
GT: pliers
pliers Detection preview by Box_v11_medium_train_SIXray_OPIXray No objects detected Detection preview by DN_Medium_300_yolov8m_20t7_new No objects detected Detection preview by Segmentatation_v8_medium_train_250 No objects detected Detection preview by Segmentation_V11_large_300_train_300 No objects detected Detection preview by Segmentation_v8_large_300_train_300
Original Image: P05646.jpg
GT: scissors
scissor Detection preview by Box_v11_medium_train_SIXray_OPIXray No objects detected Detection preview by DN_Medium_300_yolov8m_20t7_new scissor Detection preview by Segmentatation_v8_medium_train_250 scissor Detection preview by Segmentation_V11_large_300_train_300 scissor Detection preview by Segmentation_v8_large_300_train_300
Original Image: P05647.jpg
GT: scissors
scissor Detection preview by Box_v11_medium_train_SIXray_OPIXray No objects detected Detection preview by DN_Medium_300_yolov8m_20t7_new scissor Detection preview by Segmentatation_v8_medium_train_250 scissor Detection preview by Segmentation_V11_large_300_train_300 scissor Detection preview by Segmentation_v8_large_300_train_300
Original Image: P05648.jpg
GT: scissors
scissor Detection preview by Box_v11_medium_train_SIXray_OPIXray No objects detected Detection preview by DN_Medium_300_yolov8m_20t7_new scissor Detection preview by Segmentatation_v8_medium_train_250 scissor Detection preview by Segmentation_V11_large_300_train_300 scissor Detection preview by Segmentation_v8_large_300_train_300
Original Image: P05649.jpg
GT: scissors
scissor Detection preview by Box_v11_medium_train_SIXray_OPIXray No objects detected Detection preview by DN_Medium_300_yolov8m_20t7_new scissor Detection preview by Segmentatation_v8_medium_train_250 scissor Detection preview by Segmentation_V11_large_300_train_300 scissor Detection preview by Segmentation_v8_large_300_train_300
Original Image: P05650.jpg
GT: scissors
scissor Detection preview by Box_v11_medium_train_SIXray_OPIXray No objects detected Detection preview by DN_Medium_300_yolov8m_20t7_new scissor Detection preview by Segmentatation_v8_medium_train_250 scissor Detection preview by Segmentation_V11_large_300_train_300 scissor Detection preview by Segmentation_v8_large_300_train_300
Original Image: P05651.jpg
GT: scissors
scissor Detection preview by Box_v11_medium_train_SIXray_OPIXray No objects detected Detection preview by DN_Medium_300_yolov8m_20t7_new scissor Detection preview by Segmentatation_v8_medium_train_250 scissor Detection preview by Segmentation_V11_large_300_train_300 scissor Detection preview by Segmentation_v8_large_300_train_300
Original Image: P05652.jpg
GT: pliers
pliers Detection preview by Box_v11_medium_train_SIXray_OPIXray No objects detected Detection preview by DN_Medium_300_yolov8m_20t7_new No objects detected Detection preview by Segmentatation_v8_medium_train_250 No objects detected Detection preview by Segmentation_V11_large_300_train_300 No objects detected Detection preview by Segmentation_v8_large_300_train_300
Original Image: P05653.jpg
GT: pliers
pliers Detection preview by Box_v11_medium_train_SIXray_OPIXray No objects detected Detection preview by DN_Medium_300_yolov8m_20t7_new No objects detected Detection preview by Segmentatation_v8_medium_train_250 No objects detected Detection preview by Segmentation_V11_large_300_train_300 No objects detected Detection preview by Segmentation_v8_large_300_train_300
Original Image: P05654.jpg
GT: knife
knife Detection preview by Box_v11_medium_train_SIXray_OPIXray No objects detected Detection preview by DN_Medium_300_yolov8m_20t7_new No objects detected Detection preview by Segmentatation_v8_medium_train_250 No objects detected Detection preview by Segmentation_V11_large_300_train_300 No objects detected Detection preview by Segmentation_v8_large_300_train_300
Original Image: P05655.jpg
GT: scissors
scissor Detection preview by Box_v11_medium_train_SIXray_OPIXray scissor Detection preview by DN_Medium_300_yolov8m_20t7_new scissor Detection preview by Segmentatation_v8_medium_train_250 scissor Detection preview by Segmentation_V11_large_300_train_300 scissor Detection preview by Segmentation_v8_large_300_train_300
Original Image: P05656.jpg
GT: pliers
pliers Detection preview by Box_v11_medium_train_SIXray_OPIXray pliers Detection preview by DN_Medium_300_yolov8m_20t7_new No objects detected Detection preview by Segmentatation_v8_medium_train_250 No objects detected Detection preview by Segmentation_V11_large_300_train_300 No objects detected Detection preview by Segmentation_v8_large_300_train_300
Original Image: P05657.jpg
GT: pliers
pliers Detection preview by Box_v11_medium_train_SIXray_OPIXray pliers Detection preview by DN_Medium_300_yolov8m_20t7_new No objects detected Detection preview by Segmentatation_v8_medium_train_250 No objects detected Detection preview by Segmentation_V11_large_300_train_300 No objects detected Detection preview by Segmentation_v8_large_300_train_300
Original Image: P05658.jpg
GT: scissors
scissor Detection preview by Box_v11_medium_train_SIXray_OPIXray No objects detected Detection preview by DN_Medium_300_yolov8m_20t7_new scissor Detection preview by Segmentatation_v8_medium_train_250 scissor Detection preview by Segmentation_V11_large_300_train_300 scissor Detection preview by Segmentation_v8_large_300_train_300
Original Image: P05659.jpg
GT: scissors
scissor Detection preview by Box_v11_medium_train_SIXray_OPIXray No objects detected Detection preview by DN_Medium_300_yolov8m_20t7_new scissor Detection preview by Segmentatation_v8_medium_train_250 scissor Detection preview by Segmentation_V11_large_300_train_300 scissor Detection preview by Segmentation_v8_large_300_train_300
Original Image: P05660.jpg
GT: pliers, wrench
pliers, wrench Detection preview by Box_v11_medium_train_SIXray_OPIXray No objects detected Detection preview by DN_Medium_300_yolov8m_20t7_new wrench Detection preview by Segmentatation_v8_medium_train_250 wrench Detection preview by Segmentation_V11_large_300_train_300 wrench Detection preview by Segmentation_v8_large_300_train_300
Original Image: P05661.jpg
GT: pliers, wrench
pliers, wrench Detection preview by Box_v11_medium_train_SIXray_OPIXray No objects detected Detection preview by DN_Medium_300_yolov8m_20t7_new wrench Detection preview by Segmentatation_v8_medium_train_250 wrench Detection preview by Segmentation_V11_large_300_train_300 wrench Detection preview by Segmentation_v8_large_300_train_300
Original Image: P05662.jpg
GT: scissors
scissor Detection preview by Box_v11_medium_train_SIXray_OPIXray scissor Detection preview by DN_Medium_300_yolov8m_20t7_new scissor Detection preview by Segmentatation_v8_medium_train_250 scissor Detection preview by Segmentation_V11_large_300_train_300 scissor Detection preview by Segmentation_v8_large_300_train_300
Original Image: P05663.jpg
GT: scissors
scissor Detection preview by Box_v11_medium_train_SIXray_OPIXray scissor Detection preview by DN_Medium_300_yolov8m_20t7_new scissor Detection preview by Segmentatation_v8_medium_train_250 scissor Detection preview by Segmentation_V11_large_300_train_300 scissor Detection preview by Segmentation_v8_large_300_train_300
Original Image: P05664.jpg
GT: scissors
scissor Detection preview by Box_v11_medium_train_SIXray_OPIXray No objects detected Detection preview by DN_Medium_300_yolov8m_20t7_new scissor Detection preview by Segmentatation_v8_medium_train_250 scissor Detection preview by Segmentation_V11_large_300_train_300 scissor Detection preview by Segmentation_v8_large_300_train_300
Original Image: P05665.jpg
GT: scissors
scissor Detection preview by Box_v11_medium_train_SIXray_OPIXray No objects detected Detection preview by DN_Medium_300_yolov8m_20t7_new scissor Detection preview by Segmentatation_v8_medium_train_250 scissor Detection preview by Segmentation_V11_large_300_train_300 scissor Detection preview by Segmentation_v8_large_300_train_300
Original Image: P05666.jpg
GT: scissors
scissor Detection preview by Box_v11_medium_train_SIXray_OPIXray No objects detected Detection preview by DN_Medium_300_yolov8m_20t7_new scissor Detection preview by Segmentatation_v8_medium_train_250 scissor Detection preview by Segmentation_V11_large_300_train_300 scissor Detection preview by Segmentation_v8_large_300_train_300
Original Image: P05667.jpg
GT: scissors
scissor Detection preview by Box_v11_medium_train_SIXray_OPIXray No objects detected Detection preview by DN_Medium_300_yolov8m_20t7_new scissor Detection preview by Segmentatation_v8_medium_train_250 scissor Detection preview by Segmentation_V11_large_300_train_300 scissor Detection preview by Segmentation_v8_large_300_train_300
Original Image: P05668.jpg
GT: pliers, wrench
pliers, wrench Detection preview by Box_v11_medium_train_SIXray_OPIXray No objects detected Detection preview by DN_Medium_300_yolov8m_20t7_new wrench Detection preview by Segmentatation_v8_medium_train_250 wrench Detection preview by Segmentation_V11_large_300_train_300 wrench Detection preview by Segmentation_v8_large_300_train_300
Original Image: P05669.jpg
GT: pliers, wrench
pliers, wrench Detection preview by Box_v11_medium_train_SIXray_OPIXray No objects detected Detection preview by DN_Medium_300_yolov8m_20t7_new wrench Detection preview by Segmentatation_v8_medium_train_250 wrench Detection preview by Segmentation_V11_large_300_train_300 wrench Detection preview by Segmentation_v8_large_300_train_300
Original Image: P05670.jpg
GT: wrench
wrench Detection preview by Box_v11_medium_train_SIXray_OPIXray No objects detected Detection preview by DN_Medium_300_yolov8m_20t7_new wrench Detection preview by Segmentatation_v8_medium_train_250 wrench Detection preview by Segmentation_V11_large_300_train_300 wrench Detection preview by Segmentation_v8_large_300_train_300
Original Image: P05671.jpg
GT: wrench
wrench Detection preview by Box_v11_medium_train_SIXray_OPIXray No objects detected Detection preview by DN_Medium_300_yolov8m_20t7_new wrench Detection preview by Segmentatation_v8_medium_train_250 wrench Detection preview by Segmentation_V11_large_300_train_300 wrench Detection preview by Segmentation_v8_large_300_train_300
Original Image: P05672.jpg
GT: wrench
wrench Detection preview by Box_v11_medium_train_SIXray_OPIXray No objects detected Detection preview by DN_Medium_300_yolov8m_20t7_new wrench Detection preview by Segmentatation_v8_medium_train_250 wrench Detection preview by Segmentation_V11_large_300_train_300 wrench Detection preview by Segmentation_v8_large_300_train_300
Original Image: P05673.jpg
GT: pliers
pliers Detection preview by Box_v11_medium_train_SIXray_OPIXray No objects detected Detection preview by DN_Medium_300_yolov8m_20t7_new No objects detected Detection preview by Segmentatation_v8_medium_train_250 No objects detected Detection preview by Segmentation_V11_large_300_train_300 No objects detected Detection preview by Segmentation_v8_large_300_train_300
Original Image: P05674.jpg
GT: pliers
pliers Detection preview by Box_v11_medium_train_SIXray_OPIXray No objects detected Detection preview by DN_Medium_300_yolov8m_20t7_new No objects detected Detection preview by Segmentatation_v8_medium_train_250 No objects detected Detection preview by Segmentation_V11_large_300_train_300 No objects detected Detection preview by Segmentation_v8_large_300_train_300
Original Image: P05675.jpg
GT: pliers
pliers Detection preview by Box_v11_medium_train_SIXray_OPIXray No objects detected Detection preview by DN_Medium_300_yolov8m_20t7_new No objects detected Detection preview by Segmentatation_v8_medium_train_250 No objects detected Detection preview by Segmentation_V11_large_300_train_300 No objects detected Detection preview by Segmentation_v8_large_300_train_300
Original Image: P05676.jpg
GT: pliers
pliers Detection preview by Box_v11_medium_train_SIXray_OPIXray No objects detected Detection preview by DN_Medium_300_yolov8m_20t7_new No objects detected Detection preview by Segmentatation_v8_medium_train_250 No objects detected Detection preview by Segmentation_V11_large_300_train_300 No objects detected Detection preview by Segmentation_v8_large_300_train_300
Original Image: P05677.jpg
GT: pliers
pliers Detection preview by Box_v11_medium_train_SIXray_OPIXray No objects detected Detection preview by DN_Medium_300_yolov8m_20t7_new No objects detected Detection preview by Segmentatation_v8_medium_train_250 No objects detected Detection preview by Segmentation_V11_large_300_train_300 No objects detected Detection preview by Segmentation_v8_large_300_train_300
Original Image: P05678.jpg
GT: pliers
pliers Detection preview by Box_v11_medium_train_SIXray_OPIXray No objects detected Detection preview by DN_Medium_300_yolov8m_20t7_new No objects detected Detection preview by Segmentatation_v8_medium_train_250 No objects detected Detection preview by Segmentation_V11_large_300_train_300 No objects detected Detection preview by Segmentation_v8_large_300_train_300
Original Image: P05679.jpg
GT: pliers
pliers Detection preview by Box_v11_medium_train_SIXray_OPIXray No objects detected Detection preview by DN_Medium_300_yolov8m_20t7_new No objects detected Detection preview by Segmentatation_v8_medium_train_250 No objects detected Detection preview by Segmentation_V11_large_300_train_300 No objects detected Detection preview by Segmentation_v8_large_300_train_300
Original Image: P05680.jpg
GT: scissors
scissor Detection preview by Box_v11_medium_train_SIXray_OPIXray No objects detected Detection preview by DN_Medium_300_yolov8m_20t7_new scissor Detection preview by Segmentatation_v8_medium_train_250 scissor Detection preview by Segmentation_V11_large_300_train_300 scissor Detection preview by Segmentation_v8_large_300_train_300
Original Image: P05681.jpg
GT: pliers
pliers Detection preview by Box_v11_medium_train_SIXray_OPIXray pliers Detection preview by DN_Medium_300_yolov8m_20t7_new No objects detected Detection preview by Segmentatation_v8_medium_train_250 No objects detected Detection preview by Segmentation_V11_large_300_train_300 No objects detected Detection preview by Segmentation_v8_large_300_train_300
Original Image: P05682.jpg
GT: pliers
pliers Detection preview by Box_v11_medium_train_SIXray_OPIXray pliers Detection preview by DN_Medium_300_yolov8m_20t7_new No objects detected Detection preview by Segmentatation_v8_medium_train_250 No objects detected Detection preview by Segmentation_V11_large_300_train_300 No objects detected Detection preview by Segmentation_v8_large_300_train_300
Original Image: P05683.jpg
GT: scissors
scissor Detection preview by Box_v11_medium_train_SIXray_OPIXray scissor Detection preview by DN_Medium_300_yolov8m_20t7_new scissor Detection preview by Segmentatation_v8_medium_train_250 scissor Detection preview by Segmentation_V11_large_300_train_300 scissor Detection preview by Segmentation_v8_large_300_train_300
Original Image: P05684.jpg
GT: scissors
scissor Detection preview by Box_v11_medium_train_SIXray_OPIXray scissor Detection preview by DN_Medium_300_yolov8m_20t7_new scissor Detection preview by Segmentatation_v8_medium_train_250 scissor Detection preview by Segmentation_V11_large_300_train_300 scissor Detection preview by Segmentation_v8_large_300_train_300
Original Image: P05685.jpg
GT: scissors
scissor Detection preview by Box_v11_medium_train_SIXray_OPIXray No objects detected Detection preview by DN_Medium_300_yolov8m_20t7_new scissor Detection preview by Segmentatation_v8_medium_train_250 scissor Detection preview by Segmentation_V11_large_300_train_300 scissor Detection preview by Segmentation_v8_large_300_train_300
Original Image: P05686.jpg
GT: pliers
pliers Detection preview by Box_v11_medium_train_SIXray_OPIXray No objects detected Detection preview by DN_Medium_300_yolov8m_20t7_new No objects detected Detection preview by Segmentatation_v8_medium_train_250 No objects detected Detection preview by Segmentation_V11_large_300_train_300 No objects detected Detection preview by Segmentation_v8_large_300_train_300
Original Image: P05687.jpg
GT: pliers
pliers Detection preview by Box_v11_medium_train_SIXray_OPIXray No objects detected Detection preview by DN_Medium_300_yolov8m_20t7_new No objects detected Detection preview by Segmentatation_v8_medium_train_250 No objects detected Detection preview by Segmentation_V11_large_300_train_300 No objects detected Detection preview by Segmentation_v8_large_300_train_300
Original Image: P05688.jpg
GT: pliers
pliers Detection preview by Box_v11_medium_train_SIXray_OPIXray No objects detected Detection preview by DN_Medium_300_yolov8m_20t7_new No objects detected Detection preview by Segmentatation_v8_medium_train_250 No objects detected Detection preview by Segmentation_V11_large_300_train_300 No objects detected Detection preview by Segmentation_v8_large_300_train_300
Original Image: P05689.jpg
GT: pliers
pliers Detection preview by Box_v11_medium_train_SIXray_OPIXray No objects detected Detection preview by DN_Medium_300_yolov8m_20t7_new No objects detected Detection preview by Segmentatation_v8_medium_train_250 No objects detected Detection preview by Segmentation_V11_large_300_train_300 No objects detected Detection preview by Segmentation_v8_large_300_train_300
Original Image: P05690.jpg
GT: pliers
pliers Detection preview by Box_v11_medium_train_SIXray_OPIXray No objects detected Detection preview by DN_Medium_300_yolov8m_20t7_new No objects detected Detection preview by Segmentatation_v8_medium_train_250 No objects detected Detection preview by Segmentation_V11_large_300_train_300 No objects detected Detection preview by Segmentation_v8_large_300_train_300
Original Image: P05691.jpg
GT: knife
knife Detection preview by Box_v11_medium_train_SIXray_OPIXray No objects detected Detection preview by DN_Medium_300_yolov8m_20t7_new scissor Detection preview by Segmentatation_v8_medium_train_250 scissor Detection preview by Segmentation_V11_large_300_train_300 scissor Detection preview by Segmentation_v8_large_300_train_300
Original Image: P05692.jpg
GT: scissors
scissor Detection preview by Box_v11_medium_train_SIXray_OPIXray No objects detected Detection preview by DN_Medium_300_yolov8m_20t7_new scissor Detection preview by Segmentatation_v8_medium_train_250 scissor Detection preview by Segmentation_V11_large_300_train_300 No objects detected Detection preview by Segmentation_v8_large_300_train_300
Original Image: P05693.jpg
GT: pliers
pliers Detection preview by Box_v11_medium_train_SIXray_OPIXray No objects detected Detection preview by DN_Medium_300_yolov8m_20t7_new No objects detected Detection preview by Segmentatation_v8_medium_train_250 No objects detected Detection preview by Segmentation_V11_large_300_train_300 No objects detected Detection preview by Segmentation_v8_large_300_train_300
Original Image: P05694.jpg
GT: pliers
pliers Detection preview by Box_v11_medium_train_SIXray_OPIXray No objects detected Detection preview by DN_Medium_300_yolov8m_20t7_new No objects detected Detection preview by Segmentatation_v8_medium_train_250 No objects detected Detection preview by Segmentation_V11_large_300_train_300 No objects detected Detection preview by Segmentation_v8_large_300_train_300
Original Image: P05695.jpg
GT: pliers
pliers Detection preview by Box_v11_medium_train_SIXray_OPIXray No objects detected Detection preview by DN_Medium_300_yolov8m_20t7_new No objects detected Detection preview by Segmentatation_v8_medium_train_250 No objects detected Detection preview by Segmentation_V11_large_300_train_300 No objects detected Detection preview by Segmentation_v8_large_300_train_300
Original Image: P05696.jpg
GT: pliers
pliers Detection preview by Box_v11_medium_train_SIXray_OPIXray pliers Detection preview by DN_Medium_300_yolov8m_20t7_new No objects detected Detection preview by Segmentatation_v8_medium_train_250 No objects detected Detection preview by Segmentation_V11_large_300_train_300 No objects detected Detection preview by Segmentation_v8_large_300_train_300
Original Image: P05697.jpg
GT: pliers
pliers Detection preview by Box_v11_medium_train_SIXray_OPIXray pliers Detection preview by DN_Medium_300_yolov8m_20t7_new No objects detected Detection preview by Segmentatation_v8_medium_train_250 No objects detected Detection preview by Segmentation_V11_large_300_train_300 No objects detected Detection preview by Segmentation_v8_large_300_train_300
Original Image: P05698.jpg
GT: pliers
pliers Detection preview by Box_v11_medium_train_SIXray_OPIXray pliers Detection preview by DN_Medium_300_yolov8m_20t7_new No objects detected Detection preview by Segmentatation_v8_medium_train_250 No objects detected Detection preview by Segmentation_V11_large_300_train_300 No objects detected Detection preview by Segmentation_v8_large_300_train_300
Original Image: P05699.jpg
GT: pliers
pliers Detection preview by Box_v11_medium_train_SIXray_OPIXray pliers Detection preview by DN_Medium_300_yolov8m_20t7_new No objects detected Detection preview by Segmentatation_v8_medium_train_250 No objects detected Detection preview by Segmentation_V11_large_300_train_300 No objects detected Detection preview by Segmentation_v8_large_300_train_300
Original Image: P05700.jpg
GT: pliers
pliers, wrench Detection preview by Box_v11_medium_train_SIXray_OPIXray pliers Detection preview by DN_Medium_300_yolov8m_20t7_new wrench Detection preview by Segmentatation_v8_medium_train_250 wrench Detection preview by Segmentation_V11_large_300_train_300 wrench Detection preview by Segmentation_v8_large_300_train_300
Original Image: P05701.jpg
GT: pliers, wrench
pliers, wrench Detection preview by Box_v11_medium_train_SIXray_OPIXray pliers Detection preview by DN_Medium_300_yolov8m_20t7_new wrench Detection preview by Segmentatation_v8_medium_train_250 wrench Detection preview by Segmentation_V11_large_300_train_300 wrench Detection preview by Segmentation_v8_large_300_train_300
Original Image: P05702.jpg
GT: pliers, wrench
pliers, wrench Detection preview by Box_v11_medium_train_SIXray_OPIXray pliers Detection preview by DN_Medium_300_yolov8m_20t7_new wrench Detection preview by Segmentatation_v8_medium_train_250 wrench Detection preview by Segmentation_V11_large_300_train_300 wrench Detection preview by Segmentation_v8_large_300_train_300
Original Image: P05703.jpg
GT: pliers
pliers Detection preview by Box_v11_medium_train_SIXray_OPIXray pliers Detection preview by DN_Medium_300_yolov8m_20t7_new No objects detected Detection preview by Segmentatation_v8_medium_train_250 No objects detected Detection preview by Segmentation_V11_large_300_train_300 No objects detected Detection preview by Segmentation_v8_large_300_train_300
Original Image: P05704.jpg
GT: pliers
pliers Detection preview by Box_v11_medium_train_SIXray_OPIXray pliers Detection preview by DN_Medium_300_yolov8m_20t7_new No objects detected Detection preview by Segmentatation_v8_medium_train_250 No objects detected Detection preview by Segmentation_V11_large_300_train_300 No objects detected Detection preview by Segmentation_v8_large_300_train_300
Original Image: P05705.jpg
GT: pliers
pliers Detection preview by Box_v11_medium_train_SIXray_OPIXray No objects detected Detection preview by DN_Medium_300_yolov8m_20t7_new No objects detected Detection preview by Segmentatation_v8_medium_train_250 No objects detected Detection preview by Segmentation_V11_large_300_train_300 No objects detected Detection preview by Segmentation_v8_large_300_train_300
Original Image: P05706.jpg
GT: pliers
pliers Detection preview by Box_v11_medium_train_SIXray_OPIXray No objects detected Detection preview by DN_Medium_300_yolov8m_20t7_new No objects detected Detection preview by Segmentatation_v8_medium_train_250 No objects detected Detection preview by Segmentation_V11_large_300_train_300 No objects detected Detection preview by Segmentation_v8_large_300_train_300
Original Image: P05707.jpg
GT: pliers
pliers Detection preview by Box_v11_medium_train_SIXray_OPIXray No objects detected Detection preview by DN_Medium_300_yolov8m_20t7_new No objects detected Detection preview by Segmentatation_v8_medium_train_250 No objects detected Detection preview by Segmentation_V11_large_300_train_300 No objects detected Detection preview by Segmentation_v8_large_300_train_300
Original Image: P05708.jpg
GT: pliers
pliers Detection preview by Box_v11_medium_train_SIXray_OPIXray No objects detected Detection preview by DN_Medium_300_yolov8m_20t7_new No objects detected Detection preview by Segmentatation_v8_medium_train_250 No objects detected Detection preview by Segmentation_V11_large_300_train_300 No objects detected Detection preview by Segmentation_v8_large_300_train_300
Original Image: P05709.jpg
GT: pliers
pliers Detection preview by Box_v11_medium_train_SIXray_OPIXray No objects detected Detection preview by DN_Medium_300_yolov8m_20t7_new No objects detected Detection preview by Segmentatation_v8_medium_train_250 No objects detected Detection preview by Segmentation_V11_large_300_train_300 No objects detected Detection preview by Segmentation_v8_large_300_train_300
Original Image: P05710.jpg
GT: pliers
pliers Detection preview by Box_v11_medium_train_SIXray_OPIXray No objects detected Detection preview by DN_Medium_300_yolov8m_20t7_new No objects detected Detection preview by Segmentatation_v8_medium_train_250 No objects detected Detection preview by Segmentation_V11_large_300_train_300 No objects detected Detection preview by Segmentation_v8_large_300_train_300
Original Image: P05711.jpg
GT: pliers
pliers Detection preview by Box_v11_medium_train_SIXray_OPIXray No objects detected Detection preview by DN_Medium_300_yolov8m_20t7_new No objects detected Detection preview by Segmentatation_v8_medium_train_250 No objects detected Detection preview by Segmentation_V11_large_300_train_300 No objects detected Detection preview by Segmentation_v8_large_300_train_300
Original Image: P05712.jpg
GT: pliers
pliers Detection preview by Box_v11_medium_train_SIXray_OPIXray No objects detected Detection preview by DN_Medium_300_yolov8m_20t7_new No objects detected Detection preview by Segmentatation_v8_medium_train_250 No objects detected Detection preview by Segmentation_V11_large_300_train_300 No objects detected Detection preview by Segmentation_v8_large_300_train_300
Original Image: P05713.jpg
GT: scissors
scissor Detection preview by Box_v11_medium_train_SIXray_OPIXray scissor Detection preview by DN_Medium_300_yolov8m_20t7_new scissor Detection preview by Segmentatation_v8_medium_train_250 scissor Detection preview by Segmentation_V11_large_300_train_300 scissor Detection preview by Segmentation_v8_large_300_train_300
Original Image: P05714.jpg
GT: pliers
pliers Detection preview by Box_v11_medium_train_SIXray_OPIXray No objects detected Detection preview by DN_Medium_300_yolov8m_20t7_new No objects detected Detection preview by Segmentatation_v8_medium_train_250 No objects detected Detection preview by Segmentation_V11_large_300_train_300 No objects detected Detection preview by Segmentation_v8_large_300_train_300
Original Image: P05715.jpg
GT: pliers
pliers Detection preview by Box_v11_medium_train_SIXray_OPIXray No objects detected Detection preview by DN_Medium_300_yolov8m_20t7_new No objects detected Detection preview by Segmentatation_v8_medium_train_250 No objects detected Detection preview by Segmentation_V11_large_300_train_300 No objects detected Detection preview by Segmentation_v8_large_300_train_300
Original Image: P05716.jpg
GT: scissors
scissor Detection preview by Box_v11_medium_train_SIXray_OPIXray No objects detected Detection preview by DN_Medium_300_yolov8m_20t7_new scissor Detection preview by Segmentatation_v8_medium_train_250 scissor Detection preview by Segmentation_V11_large_300_train_300 scissor Detection preview by Segmentation_v8_large_300_train_300
Original Image: P05717.jpg
GT: scissors
scissor Detection preview by Box_v11_medium_train_SIXray_OPIXray No objects detected Detection preview by DN_Medium_300_yolov8m_20t7_new scissor Detection preview by Segmentatation_v8_medium_train_250 scissor Detection preview by Segmentation_V11_large_300_train_300 scissor Detection preview by Segmentation_v8_large_300_train_300
Original Image: P05718.jpg
GT: scissors
scissor Detection preview by Box_v11_medium_train_SIXray_OPIXray No objects detected Detection preview by DN_Medium_300_yolov8m_20t7_new scissor Detection preview by Segmentatation_v8_medium_train_250 scissor Detection preview by Segmentation_V11_large_300_train_300 scissor Detection preview by Segmentation_v8_large_300_train_300
Original Image: P05719.jpg
GT: pliers
pliers Detection preview by Box_v11_medium_train_SIXray_OPIXray pliers Detection preview by DN_Medium_300_yolov8m_20t7_new No objects detected Detection preview by Segmentatation_v8_medium_train_250 No objects detected Detection preview by Segmentation_V11_large_300_train_300 No objects detected Detection preview by Segmentation_v8_large_300_train_300
Original Image: P05720.jpg
GT: pliers
pliers Detection preview by Box_v11_medium_train_SIXray_OPIXray No objects detected Detection preview by DN_Medium_300_yolov8m_20t7_new No objects detected Detection preview by Segmentatation_v8_medium_train_250 No objects detected Detection preview by Segmentation_V11_large_300_train_300 No objects detected Detection preview by Segmentation_v8_large_300_train_300
Original Image: P05721.jpg
GT: pliers
pliers Detection preview by Box_v11_medium_train_SIXray_OPIXray No objects detected Detection preview by DN_Medium_300_yolov8m_20t7_new No objects detected Detection preview by Segmentatation_v8_medium_train_250 No objects detected Detection preview by Segmentation_V11_large_300_train_300 No objects detected Detection preview by Segmentation_v8_large_300_train_300
Original Image: P05722.jpg
GT: pliers
pliers Detection preview by Box_v11_medium_train_SIXray_OPIXray No objects detected Detection preview by DN_Medium_300_yolov8m_20t7_new No objects detected Detection preview by Segmentatation_v8_medium_train_250 No objects detected Detection preview by Segmentation_V11_large_300_train_300 No objects detected Detection preview by Segmentation_v8_large_300_train_300
Original Image: P05723.jpg
GT: scissors
scissor Detection preview by Box_v11_medium_train_SIXray_OPIXray No objects detected Detection preview by DN_Medium_300_yolov8m_20t7_new scissor Detection preview by Segmentatation_v8_medium_train_250 scissor Detection preview by Segmentation_V11_large_300_train_300 scissor Detection preview by Segmentation_v8_large_300_train_300
Original Image: P05724.jpg
GT: scissors
scissor Detection preview by Box_v11_medium_train_SIXray_OPIXray No objects detected Detection preview by DN_Medium_300_yolov8m_20t7_new scissor Detection preview by Segmentatation_v8_medium_train_250 scissor Detection preview by Segmentation_V11_large_300_train_300 scissor Detection preview by Segmentation_v8_large_300_train_300
Original Image: P05725.jpg
GT: wrench
wrench Detection preview by Box_v11_medium_train_SIXray_OPIXray No objects detected Detection preview by DN_Medium_300_yolov8m_20t7_new wrench Detection preview by Segmentatation_v8_medium_train_250 wrench Detection preview by Segmentation_V11_large_300_train_300 wrench Detection preview by Segmentation_v8_large_300_train_300
Original Image: P05726.jpg
GT: wrench
wrench Detection preview by Box_v11_medium_train_SIXray_OPIXray No objects detected Detection preview by DN_Medium_300_yolov8m_20t7_new wrench Detection preview by Segmentatation_v8_medium_train_250 wrench Detection preview by Segmentation_V11_large_300_train_300 wrench Detection preview by Segmentation_v8_large_300_train_300
Original Image: P05727.jpg
GT: wrench
wrench Detection preview by Box_v11_medium_train_SIXray_OPIXray No objects detected Detection preview by DN_Medium_300_yolov8m_20t7_new wrench Detection preview by Segmentatation_v8_medium_train_250 wrench Detection preview by Segmentation_V11_large_300_train_300 wrench Detection preview by Segmentation_v8_large_300_train_300
Original Image: P05728.jpg
GT: wrench
wrench Detection preview by Box_v11_medium_train_SIXray_OPIXray No objects detected Detection preview by DN_Medium_300_yolov8m_20t7_new wrench Detection preview by Segmentatation_v8_medium_train_250 wrench Detection preview by Segmentation_V11_large_300_train_300 wrench Detection preview by Segmentation_v8_large_300_train_300
Original Image: P05729.jpg
GT: wrench
wrench Detection preview by Box_v11_medium_train_SIXray_OPIXray No objects detected Detection preview by DN_Medium_300_yolov8m_20t7_new wrench Detection preview by Segmentatation_v8_medium_train_250 wrench Detection preview by Segmentation_V11_large_300_train_300 wrench Detection preview by Segmentation_v8_large_300_train_300
Original Image: P05730.jpg
GT: pliers
pliers Detection preview by Box_v11_medium_train_SIXray_OPIXray No objects detected Detection preview by DN_Medium_300_yolov8m_20t7_new No objects detected Detection preview by Segmentatation_v8_medium_train_250 No objects detected Detection preview by Segmentation_V11_large_300_train_300 No objects detected Detection preview by Segmentation_v8_large_300_train_300
Original Image: P05731.jpg
GT: pliers
pliers Detection preview by Box_v11_medium_train_SIXray_OPIXray No objects detected Detection preview by DN_Medium_300_yolov8m_20t7_new No objects detected Detection preview by Segmentatation_v8_medium_train_250 No objects detected Detection preview by Segmentation_V11_large_300_train_300 No objects detected Detection preview by Segmentation_v8_large_300_train_300
Original Image: P05732.jpg
GT: pliers
pliers Detection preview by Box_v11_medium_train_SIXray_OPIXray No objects detected Detection preview by DN_Medium_300_yolov8m_20t7_new No objects detected Detection preview by Segmentatation_v8_medium_train_250 No objects detected Detection preview by Segmentation_V11_large_300_train_300 No objects detected Detection preview by Segmentation_v8_large_300_train_300
Original Image: P05733.jpg
GT: pliers
pliers Detection preview by Box_v11_medium_train_SIXray_OPIXray No objects detected Detection preview by DN_Medium_300_yolov8m_20t7_new No objects detected Detection preview by Segmentatation_v8_medium_train_250 No objects detected Detection preview by Segmentation_V11_large_300_train_300 No objects detected Detection preview by Segmentation_v8_large_300_train_300
Original Image: P05734.jpg
GT: pliers
pliers Detection preview by Box_v11_medium_train_SIXray_OPIXray No objects detected Detection preview by DN_Medium_300_yolov8m_20t7_new No objects detected Detection preview by Segmentatation_v8_medium_train_250 No objects detected Detection preview by Segmentation_V11_large_300_train_300 No objects detected Detection preview by Segmentation_v8_large_300_train_300
Original Image: P05735.jpg
GT: pliers
pliers Detection preview by Box_v11_medium_train_SIXray_OPIXray No objects detected Detection preview by DN_Medium_300_yolov8m_20t7_new No objects detected Detection preview by Segmentatation_v8_medium_train_250 No objects detected Detection preview by Segmentation_V11_large_300_train_300 No objects detected Detection preview by Segmentation_v8_large_300_train_300
Original Image: P05736.jpg
GT: pliers
pliers Detection preview by Box_v11_medium_train_SIXray_OPIXray No objects detected Detection preview by DN_Medium_300_yolov8m_20t7_new No objects detected Detection preview by Segmentatation_v8_medium_train_250 No objects detected Detection preview by Segmentation_V11_large_300_train_300 No objects detected Detection preview by Segmentation_v8_large_300_train_300
Original Image: P05737.jpg
GT: wrench
wrench Detection preview by Box_v11_medium_train_SIXray_OPIXray No objects detected Detection preview by DN_Medium_300_yolov8m_20t7_new wrench Detection preview by Segmentatation_v8_medium_train_250 wrench Detection preview by Segmentation_V11_large_300_train_300 wrench Detection preview by Segmentation_v8_large_300_train_300
Original Image: P05738.jpg
GT: wrench
wrench Detection preview by Box_v11_medium_train_SIXray_OPIXray No objects detected Detection preview by DN_Medium_300_yolov8m_20t7_new wrench Detection preview by Segmentatation_v8_medium_train_250 wrench Detection preview by Segmentation_V11_large_300_train_300 wrench Detection preview by Segmentation_v8_large_300_train_300
Original Image: P05739.jpg
GT: wrench
wrench Detection preview by Box_v11_medium_train_SIXray_OPIXray No objects detected Detection preview by DN_Medium_300_yolov8m_20t7_new wrench Detection preview by Segmentatation_v8_medium_train_250 wrench Detection preview by Segmentation_V11_large_300_train_300 wrench Detection preview by Segmentation_v8_large_300_train_300
Original Image: P05740.jpg
GT: pliers
pliers Detection preview by Box_v11_medium_train_SIXray_OPIXray No objects detected Detection preview by DN_Medium_300_yolov8m_20t7_new No objects detected Detection preview by Segmentatation_v8_medium_train_250 No objects detected Detection preview by Segmentation_V11_large_300_train_300 No objects detected Detection preview by Segmentation_v8_large_300_train_300
Original Image: P05741.jpg
GT: pliers
pliers Detection preview by Box_v11_medium_train_SIXray_OPIXray No objects detected Detection preview by DN_Medium_300_yolov8m_20t7_new No objects detected Detection preview by Segmentatation_v8_medium_train_250 No objects detected Detection preview by Segmentation_V11_large_300_train_300 No objects detected Detection preview by Segmentation_v8_large_300_train_300
Original Image: P05742.jpg
GT: pliers
pliers Detection preview by Box_v11_medium_train_SIXray_OPIXray No objects detected Detection preview by DN_Medium_300_yolov8m_20t7_new No objects detected Detection preview by Segmentatation_v8_medium_train_250 No objects detected Detection preview by Segmentation_V11_large_300_train_300 No objects detected Detection preview by Segmentation_v8_large_300_train_300
Original Image: P05743.jpg
GT: pliers
pliers Detection preview by Box_v11_medium_train_SIXray_OPIXray No objects detected Detection preview by DN_Medium_300_yolov8m_20t7_new No objects detected Detection preview by Segmentatation_v8_medium_train_250 No objects detected Detection preview by Segmentation_V11_large_300_train_300 No objects detected Detection preview by Segmentation_v8_large_300_train_300
Original Image: P05744.jpg
GT: pliers
pliers Detection preview by Box_v11_medium_train_SIXray_OPIXray No objects detected Detection preview by DN_Medium_300_yolov8m_20t7_new No objects detected Detection preview by Segmentatation_v8_medium_train_250 No objects detected Detection preview by Segmentation_V11_large_300_train_300 No objects detected Detection preview by Segmentation_v8_large_300_train_300
Original Image: P05745.jpg
GT: pliers
pliers Detection preview by Box_v11_medium_train_SIXray_OPIXray No objects detected Detection preview by DN_Medium_300_yolov8m_20t7_new No objects detected Detection preview by Segmentatation_v8_medium_train_250 No objects detected Detection preview by Segmentation_V11_large_300_train_300 No objects detected Detection preview by Segmentation_v8_large_300_train_300
Original Image: P05746.jpg
GT: pliers
pliers Detection preview by Box_v11_medium_train_SIXray_OPIXray No objects detected Detection preview by DN_Medium_300_yolov8m_20t7_new No objects detected Detection preview by Segmentatation_v8_medium_train_250 No objects detected Detection preview by Segmentation_V11_large_300_train_300 No objects detected Detection preview by Segmentation_v8_large_300_train_300
Original Image: P05747.jpg
GT: pliers
pliers Detection preview by Box_v11_medium_train_SIXray_OPIXray No objects detected Detection preview by DN_Medium_300_yolov8m_20t7_new No objects detected Detection preview by Segmentatation_v8_medium_train_250 No objects detected Detection preview by Segmentation_V11_large_300_train_300 No objects detected Detection preview by Segmentation_v8_large_300_train_300
Original Image: P05748.jpg
GT: pliers
pliers Detection preview by Box_v11_medium_train_SIXray_OPIXray No objects detected Detection preview by DN_Medium_300_yolov8m_20t7_new No objects detected Detection preview by Segmentatation_v8_medium_train_250 No objects detected Detection preview by Segmentation_V11_large_300_train_300 No objects detected Detection preview by Segmentation_v8_large_300_train_300
Original Image: P05749.jpg
GT: pliers
pliers Detection preview by Box_v11_medium_train_SIXray_OPIXray No objects detected Detection preview by DN_Medium_300_yolov8m_20t7_new No objects detected Detection preview by Segmentatation_v8_medium_train_250 No objects detected Detection preview by Segmentation_V11_large_300_train_300 No objects detected Detection preview by Segmentation_v8_large_300_train_300
Original Image: P05750.jpg
GT: pliers
pliers Detection preview by Box_v11_medium_train_SIXray_OPIXray No objects detected Detection preview by DN_Medium_300_yolov8m_20t7_new No objects detected Detection preview by Segmentatation_v8_medium_train_250 No objects detected Detection preview by Segmentation_V11_large_300_train_300 No objects detected Detection preview by Segmentation_v8_large_300_train_300
Original Image: P05751.jpg
GT: pliers
pliers Detection preview by Box_v11_medium_train_SIXray_OPIXray No objects detected Detection preview by DN_Medium_300_yolov8m_20t7_new No objects detected Detection preview by Segmentatation_v8_medium_train_250 No objects detected Detection preview by Segmentation_V11_large_300_train_300 No objects detected Detection preview by Segmentation_v8_large_300_train_300
Original Image: P05752.jpg
GT: pliers
pliers Detection preview by Box_v11_medium_train_SIXray_OPIXray pliers Detection preview by DN_Medium_300_yolov8m_20t7_new No objects detected Detection preview by Segmentatation_v8_medium_train_250 No objects detected Detection preview by Segmentation_V11_large_300_train_300 No objects detected Detection preview by Segmentation_v8_large_300_train_300
Original Image: P05753.jpg
GT: pliers
pliers Detection preview by Box_v11_medium_train_SIXray_OPIXray pliers Detection preview by DN_Medium_300_yolov8m_20t7_new No objects detected Detection preview by Segmentatation_v8_medium_train_250 No objects detected Detection preview by Segmentation_V11_large_300_train_300 No objects detected Detection preview by Segmentation_v8_large_300_train_300
Original Image: P05754.jpg
GT: pliers
pliers Detection preview by Box_v11_medium_train_SIXray_OPIXray No objects detected Detection preview by DN_Medium_300_yolov8m_20t7_new No objects detected Detection preview by Segmentatation_v8_medium_train_250 No objects detected Detection preview by Segmentation_V11_large_300_train_300 No objects detected Detection preview by Segmentation_v8_large_300_train_300
Original Image: P05755.jpg
GT: pliers
pliers Detection preview by Box_v11_medium_train_SIXray_OPIXray No objects detected Detection preview by DN_Medium_300_yolov8m_20t7_new No objects detected Detection preview by Segmentatation_v8_medium_train_250 No objects detected Detection preview by Segmentation_V11_large_300_train_300 No objects detected Detection preview by Segmentation_v8_large_300_train_300
Original Image: P05756.jpg
GT: pliers
pliers Detection preview by Box_v11_medium_train_SIXray_OPIXray No objects detected Detection preview by DN_Medium_300_yolov8m_20t7_new No objects detected Detection preview by Segmentatation_v8_medium_train_250 No objects detected Detection preview by Segmentation_V11_large_300_train_300 No objects detected Detection preview by Segmentation_v8_large_300_train_300
Original Image: P05757.jpg
GT: wrench
wrench Detection preview by Box_v11_medium_train_SIXray_OPIXray No objects detected Detection preview by DN_Medium_300_yolov8m_20t7_new wrench Detection preview by Segmentatation_v8_medium_train_250 wrench Detection preview by Segmentation_V11_large_300_train_300 wrench Detection preview by Segmentation_v8_large_300_train_300
Original Image: P05758.jpg
GT: wrench
wrench Detection preview by Box_v11_medium_train_SIXray_OPIXray No objects detected Detection preview by DN_Medium_300_yolov8m_20t7_new wrench Detection preview by Segmentatation_v8_medium_train_250 wrench Detection preview by Segmentation_V11_large_300_train_300 wrench Detection preview by Segmentation_v8_large_300_train_300
Original Image: P05759.jpg
GT: wrench
wrench Detection preview by Box_v11_medium_train_SIXray_OPIXray No objects detected Detection preview by DN_Medium_300_yolov8m_20t7_new wrench Detection preview by Segmentatation_v8_medium_train_250 wrench Detection preview by Segmentation_V11_large_300_train_300 wrench Detection preview by Segmentation_v8_large_300_train_300
Original Image: P05760.jpg
GT: scissors
scissor Detection preview by Box_v11_medium_train_SIXray_OPIXray No objects detected Detection preview by DN_Medium_300_yolov8m_20t7_new scissor Detection preview by Segmentatation_v8_medium_train_250 scissor Detection preview by Segmentation_V11_large_300_train_300 scissor Detection preview by Segmentation_v8_large_300_train_300
Original Image: P05761.jpg
GT: scissors
scissor Detection preview by Box_v11_medium_train_SIXray_OPIXray No objects detected Detection preview by DN_Medium_300_yolov8m_20t7_new scissor Detection preview by Segmentatation_v8_medium_train_250 scissor Detection preview by Segmentation_V11_large_300_train_300 scissor Detection preview by Segmentation_v8_large_300_train_300
Original Image: P05762.jpg
GT: scissors
scissor Detection preview by Box_v11_medium_train_SIXray_OPIXray No objects detected Detection preview by DN_Medium_300_yolov8m_20t7_new scissor Detection preview by Segmentatation_v8_medium_train_250 scissor Detection preview by Segmentation_V11_large_300_train_300 scissor Detection preview by Segmentation_v8_large_300_train_300
Original Image: P05763.jpg
GT: scissors
scissor Detection preview by Box_v11_medium_train_SIXray_OPIXray No objects detected Detection preview by DN_Medium_300_yolov8m_20t7_new scissor Detection preview by Segmentatation_v8_medium_train_250 scissor Detection preview by Segmentation_V11_large_300_train_300 scissor Detection preview by Segmentation_v8_large_300_train_300
Original Image: P05764.jpg
GT: scissors
scissor Detection preview by Box_v11_medium_train_SIXray_OPIXray No objects detected Detection preview by DN_Medium_300_yolov8m_20t7_new scissor Detection preview by Segmentatation_v8_medium_train_250 scissor Detection preview by Segmentation_V11_large_300_train_300 scissor Detection preview by Segmentation_v8_large_300_train_300
Original Image: P05765.jpg
GT: wrench
wrench Detection preview by Box_v11_medium_train_SIXray_OPIXray No objects detected Detection preview by DN_Medium_300_yolov8m_20t7_new wrench Detection preview by Segmentatation_v8_medium_train_250 wrench Detection preview by Segmentation_V11_large_300_train_300 wrench Detection preview by Segmentation_v8_large_300_train_300
Original Image: P05766.jpg
GT: wrench
wrench Detection preview by Box_v11_medium_train_SIXray_OPIXray No objects detected Detection preview by DN_Medium_300_yolov8m_20t7_new wrench Detection preview by Segmentatation_v8_medium_train_250 wrench Detection preview by Segmentation_V11_large_300_train_300 wrench Detection preview by Segmentation_v8_large_300_train_300
Original Image: P05767.jpg
GT: wrench
wrench Detection preview by Box_v11_medium_train_SIXray_OPIXray No objects detected Detection preview by DN_Medium_300_yolov8m_20t7_new wrench Detection preview by Segmentatation_v8_medium_train_250 wrench Detection preview by Segmentation_V11_large_300_train_300 wrench Detection preview by Segmentation_v8_large_300_train_300
Original Image: P05768.jpg
GT: wrench
wrench Detection preview by Box_v11_medium_train_SIXray_OPIXray No objects detected Detection preview by DN_Medium_300_yolov8m_20t7_new wrench Detection preview by Segmentatation_v8_medium_train_250 wrench Detection preview by Segmentation_V11_large_300_train_300 wrench Detection preview by Segmentation_v8_large_300_train_300
Original Image: P05769.jpg
GT: wrench
wrench Detection preview by Box_v11_medium_train_SIXray_OPIXray No objects detected Detection preview by DN_Medium_300_yolov8m_20t7_new wrench Detection preview by Segmentatation_v8_medium_train_250 wrench Detection preview by Segmentation_V11_large_300_train_300 wrench Detection preview by Segmentation_v8_large_300_train_300
Original Image: P05770.jpg
GT: wrench
wrench Detection preview by Box_v11_medium_train_SIXray_OPIXray No objects detected Detection preview by DN_Medium_300_yolov8m_20t7_new wrench Detection preview by Segmentatation_v8_medium_train_250 wrench Detection preview by Segmentation_V11_large_300_train_300 wrench Detection preview by Segmentation_v8_large_300_train_300
Original Image: P05771.jpg
GT: scissors
scissor Detection preview by Box_v11_medium_train_SIXray_OPIXray No objects detected Detection preview by DN_Medium_300_yolov8m_20t7_new scissor Detection preview by Segmentatation_v8_medium_train_250 scissor Detection preview by Segmentation_V11_large_300_train_300 scissor Detection preview by Segmentation_v8_large_300_train_300
Original Image: P05772.jpg
GT: scissors
scissor Detection preview by Box_v11_medium_train_SIXray_OPIXray No objects detected Detection preview by DN_Medium_300_yolov8m_20t7_new scissor Detection preview by Segmentatation_v8_medium_train_250 scissor Detection preview by Segmentation_V11_large_300_train_300 scissor Detection preview by Segmentation_v8_large_300_train_300
Original Image: P05773.jpg
GT: scissors
scissor Detection preview by Box_v11_medium_train_SIXray_OPIXray No objects detected Detection preview by DN_Medium_300_yolov8m_20t7_new scissor Detection preview by Segmentatation_v8_medium_train_250 scissor Detection preview by Segmentation_V11_large_300_train_300 scissor Detection preview by Segmentation_v8_large_300_train_300
Original Image: P05774.jpg
GT: scissors
scissor Detection preview by Box_v11_medium_train_SIXray_OPIXray No objects detected Detection preview by DN_Medium_300_yolov8m_20t7_new scissor Detection preview by Segmentatation_v8_medium_train_250 scissor Detection preview by Segmentation_V11_large_300_train_300 scissor Detection preview by Segmentation_v8_large_300_train_300
Original Image: P05775.jpg
GT: scissors
scissor Detection preview by Box_v11_medium_train_SIXray_OPIXray No objects detected Detection preview by DN_Medium_300_yolov8m_20t7_new scissor Detection preview by Segmentatation_v8_medium_train_250 scissor Detection preview by Segmentation_V11_large_300_train_300 scissor Detection preview by Segmentation_v8_large_300_train_300
Original Image: P05776.jpg
GT: pliers
pliers Detection preview by Box_v11_medium_train_SIXray_OPIXray No objects detected Detection preview by DN_Medium_300_yolov8m_20t7_new No objects detected Detection preview by Segmentatation_v8_medium_train_250 No objects detected Detection preview by Segmentation_V11_large_300_train_300 No objects detected Detection preview by Segmentation_v8_large_300_train_300
Original Image: P05777.jpg
GT: pliers
pliers Detection preview by Box_v11_medium_train_SIXray_OPIXray No objects detected Detection preview by DN_Medium_300_yolov8m_20t7_new No objects detected Detection preview by Segmentatation_v8_medium_train_250 No objects detected Detection preview by Segmentation_V11_large_300_train_300 No objects detected Detection preview by Segmentation_v8_large_300_train_300
Original Image: P05778.jpg
GT: pliers
pliers Detection preview by Box_v11_medium_train_SIXray_OPIXray pliers Detection preview by DN_Medium_300_yolov8m_20t7_new No objects detected Detection preview by Segmentatation_v8_medium_train_250 No objects detected Detection preview by Segmentation_V11_large_300_train_300 No objects detected Detection preview by Segmentation_v8_large_300_train_300
Original Image: P05779.jpg
GT: pliers
pliers Detection preview by Box_v11_medium_train_SIXray_OPIXray pliers Detection preview by DN_Medium_300_yolov8m_20t7_new No objects detected Detection preview by Segmentatation_v8_medium_train_250 No objects detected Detection preview by Segmentation_V11_large_300_train_300 No objects detected Detection preview by Segmentation_v8_large_300_train_300
Original Image: P05780.jpg
GT: pliers
pliers Detection preview by Box_v11_medium_train_SIXray_OPIXray pliers Detection preview by DN_Medium_300_yolov8m_20t7_new No objects detected Detection preview by Segmentatation_v8_medium_train_250 No objects detected Detection preview by Segmentation_V11_large_300_train_300 No objects detected Detection preview by Segmentation_v8_large_300_train_300
Original Image: P05781.jpg
GT: scissors
scissor Detection preview by Box_v11_medium_train_SIXray_OPIXray No objects detected Detection preview by DN_Medium_300_yolov8m_20t7_new scissor Detection preview by Segmentatation_v8_medium_train_250 scissor Detection preview by Segmentation_V11_large_300_train_300 scissor Detection preview by Segmentation_v8_large_300_train_300
Original Image: P05782.jpg
GT: scissors
scissor Detection preview by Box_v11_medium_train_SIXray_OPIXray No objects detected Detection preview by DN_Medium_300_yolov8m_20t7_new knife, scissor Detection preview by Segmentatation_v8_medium_train_250 scissor Detection preview by Segmentation_V11_large_300_train_300 scissor Detection preview by Segmentation_v8_large_300_train_300
Original Image: P05783.jpg
GT: scissors
scissor Detection preview by Box_v11_medium_train_SIXray_OPIXray No objects detected Detection preview by DN_Medium_300_yolov8m_20t7_new scissor Detection preview by Segmentatation_v8_medium_train_250 scissor Detection preview by Segmentation_V11_large_300_train_300 scissor Detection preview by Segmentation_v8_large_300_train_300
Original Image: P05784.jpg
GT: wrench
wrench Detection preview by Box_v11_medium_train_SIXray_OPIXray No objects detected Detection preview by DN_Medium_300_yolov8m_20t7_new wrench Detection preview by Segmentatation_v8_medium_train_250 wrench Detection preview by Segmentation_V11_large_300_train_300 wrench Detection preview by Segmentation_v8_large_300_train_300
Original Image: P05785.jpg
GT: pliers
pliers Detection preview by Box_v11_medium_train_SIXray_OPIXray No objects detected Detection preview by DN_Medium_300_yolov8m_20t7_new No objects detected Detection preview by Segmentatation_v8_medium_train_250 No objects detected Detection preview by Segmentation_V11_large_300_train_300 No objects detected Detection preview by Segmentation_v8_large_300_train_300
Original Image: P05786.jpg
GT: pliers
pliers Detection preview by Box_v11_medium_train_SIXray_OPIXray scissor Detection preview by DN_Medium_300_yolov8m_20t7_new No objects detected Detection preview by Segmentatation_v8_medium_train_250 No objects detected Detection preview by Segmentation_V11_large_300_train_300 No objects detected Detection preview by Segmentation_v8_large_300_train_300
Original Image: P05787.jpg
GT: pliers
pliers Detection preview by Box_v11_medium_train_SIXray_OPIXray No objects detected Detection preview by DN_Medium_300_yolov8m_20t7_new No objects detected Detection preview by Segmentatation_v8_medium_train_250 No objects detected Detection preview by Segmentation_V11_large_300_train_300 No objects detected Detection preview by Segmentation_v8_large_300_train_300
Original Image: P05788.jpg
GT: pliers
pliers Detection preview by Box_v11_medium_train_SIXray_OPIXray pliers Detection preview by DN_Medium_300_yolov8m_20t7_new No objects detected Detection preview by Segmentatation_v8_medium_train_250 No objects detected Detection preview by Segmentation_V11_large_300_train_300 No objects detected Detection preview by Segmentation_v8_large_300_train_300
Original Image: P05789.jpg
GT: pliers
pliers Detection preview by Box_v11_medium_train_SIXray_OPIXray pliers Detection preview by DN_Medium_300_yolov8m_20t7_new No objects detected Detection preview by Segmentatation_v8_medium_train_250 No objects detected Detection preview by Segmentation_V11_large_300_train_300 No objects detected Detection preview by Segmentation_v8_large_300_train_300
Original Image: P05790.jpg
GT: knife
knife Detection preview by Box_v11_medium_train_SIXray_OPIXray No objects detected Detection preview by DN_Medium_300_yolov8m_20t7_new scissor Detection preview by Segmentatation_v8_medium_train_250 scissor Detection preview by Segmentation_V11_large_300_train_300 scissor Detection preview by Segmentation_v8_large_300_train_300
Original Image: P05791.jpg
GT: scissors
scissor Detection preview by Box_v11_medium_train_SIXray_OPIXray scissor Detection preview by DN_Medium_300_yolov8m_20t7_new scissor Detection preview by Segmentatation_v8_medium_train_250 scissor Detection preview by Segmentation_V11_large_300_train_300 scissor Detection preview by Segmentation_v8_large_300_train_300
Original Image: P05792.jpg
GT: pliers
pliers Detection preview by Box_v11_medium_train_SIXray_OPIXray No objects detected Detection preview by DN_Medium_300_yolov8m_20t7_new No objects detected Detection preview by Segmentatation_v8_medium_train_250 No objects detected Detection preview by Segmentation_V11_large_300_train_300 No objects detected Detection preview by Segmentation_v8_large_300_train_300
Original Image: P05793.jpg
GT: pliers
pliers Detection preview by Box_v11_medium_train_SIXray_OPIXray No objects detected Detection preview by DN_Medium_300_yolov8m_20t7_new No objects detected Detection preview by Segmentatation_v8_medium_train_250 No objects detected Detection preview by Segmentation_V11_large_300_train_300 No objects detected Detection preview by Segmentation_v8_large_300_train_300
Original Image: P05794.jpg
GT: scissors
scissor Detection preview by Box_v11_medium_train_SIXray_OPIXray No objects detected Detection preview by DN_Medium_300_yolov8m_20t7_new scissor Detection preview by Segmentatation_v8_medium_train_250 scissor Detection preview by Segmentation_V11_large_300_train_300 scissor Detection preview by Segmentation_v8_large_300_train_300
Original Image: P05795.jpg
GT: pliers, wrench
pliers, wrench Detection preview by Box_v11_medium_train_SIXray_OPIXray pliers Detection preview by DN_Medium_300_yolov8m_20t7_new wrench Detection preview by Segmentatation_v8_medium_train_250 wrench Detection preview by Segmentation_V11_large_300_train_300 wrench Detection preview by Segmentation_v8_large_300_train_300
Original Image: P05796.jpg
GT: pliers, wrench
pliers, wrench Detection preview by Box_v11_medium_train_SIXray_OPIXray pliers Detection preview by DN_Medium_300_yolov8m_20t7_new wrench Detection preview by Segmentatation_v8_medium_train_250 wrench Detection preview by Segmentation_V11_large_300_train_300 wrench Detection preview by Segmentation_v8_large_300_train_300
Original Image: P05797.jpg
GT: pliers, wrench
pliers, wrench Detection preview by Box_v11_medium_train_SIXray_OPIXray pliers Detection preview by DN_Medium_300_yolov8m_20t7_new wrench Detection preview by Segmentatation_v8_medium_train_250 wrench Detection preview by Segmentation_V11_large_300_train_300 wrench Detection preview by Segmentation_v8_large_300_train_300
Original Image: P05798.jpg
GT: pliers, wrench
pliers, wrench Detection preview by Box_v11_medium_train_SIXray_OPIXray pliers Detection preview by DN_Medium_300_yolov8m_20t7_new wrench Detection preview by Segmentatation_v8_medium_train_250 wrench Detection preview by Segmentation_V11_large_300_train_300 wrench Detection preview by Segmentation_v8_large_300_train_300
Original Image: P05799.jpg
GT: pliers, wrench
pliers, wrench Detection preview by Box_v11_medium_train_SIXray_OPIXray pliers Detection preview by DN_Medium_300_yolov8m_20t7_new wrench Detection preview by Segmentatation_v8_medium_train_250 wrench Detection preview by Segmentation_V11_large_300_train_300 wrench Detection preview by Segmentation_v8_large_300_train_300
Original Image: P05800.jpg
GT: pliers, wrench
pliers, wrench Detection preview by Box_v11_medium_train_SIXray_OPIXray pliers Detection preview by DN_Medium_300_yolov8m_20t7_new wrench Detection preview by Segmentatation_v8_medium_train_250 wrench Detection preview by Segmentation_V11_large_300_train_300 wrench Detection preview by Segmentation_v8_large_300_train_300
Original Image: P05801.jpg
GT: pliers, wrench
pliers, wrench Detection preview by Box_v11_medium_train_SIXray_OPIXray No objects detected Detection preview by DN_Medium_300_yolov8m_20t7_new wrench Detection preview by Segmentatation_v8_medium_train_250 wrench Detection preview by Segmentation_V11_large_300_train_300 wrench Detection preview by Segmentation_v8_large_300_train_300
Original Image: P05802.jpg
GT: pliers, wrench
pliers, wrench Detection preview by Box_v11_medium_train_SIXray_OPIXray No objects detected Detection preview by DN_Medium_300_yolov8m_20t7_new wrench Detection preview by Segmentatation_v8_medium_train_250 wrench Detection preview by Segmentation_V11_large_300_train_300 wrench Detection preview by Segmentation_v8_large_300_train_300
Original Image: P05803.jpg
GT: pliers, wrench
pliers, wrench Detection preview by Box_v11_medium_train_SIXray_OPIXray No objects detected Detection preview by DN_Medium_300_yolov8m_20t7_new wrench Detection preview by Segmentatation_v8_medium_train_250 wrench Detection preview by Segmentation_V11_large_300_train_300 wrench Detection preview by Segmentation_v8_large_300_train_300
Original Image: P05804.jpg
GT: knife
knife Detection preview by Box_v11_medium_train_SIXray_OPIXray No objects detected Detection preview by DN_Medium_300_yolov8m_20t7_new scissor Detection preview by Segmentatation_v8_medium_train_250 scissor Detection preview by Segmentation_V11_large_300_train_300 scissor Detection preview by Segmentation_v8_large_300_train_300
Original Image: P05805.jpg
GT: knife
knife Detection preview by Box_v11_medium_train_SIXray_OPIXray No objects detected Detection preview by DN_Medium_300_yolov8m_20t7_new scissor Detection preview by Segmentatation_v8_medium_train_250 scissor Detection preview by Segmentation_V11_large_300_train_300 scissor Detection preview by Segmentation_v8_large_300_train_300
Original Image: P05806.jpg
GT: knife
knife Detection preview by Box_v11_medium_train_SIXray_OPIXray No objects detected Detection preview by DN_Medium_300_yolov8m_20t7_new scissor Detection preview by Segmentatation_v8_medium_train_250 scissor Detection preview by Segmentation_V11_large_300_train_300 scissor Detection preview by Segmentation_v8_large_300_train_300
Original Image: P05807.jpg
GT: pliers
pliers Detection preview by Box_v11_medium_train_SIXray_OPIXray No objects detected Detection preview by DN_Medium_300_yolov8m_20t7_new No objects detected Detection preview by Segmentatation_v8_medium_train_250 No objects detected Detection preview by Segmentation_V11_large_300_train_300 No objects detected Detection preview by Segmentation_v8_large_300_train_300
Original Image: P05808.jpg
GT: pliers
pliers Detection preview by Box_v11_medium_train_SIXray_OPIXray No objects detected Detection preview by DN_Medium_300_yolov8m_20t7_new No objects detected Detection preview by Segmentatation_v8_medium_train_250 No objects detected Detection preview by Segmentation_V11_large_300_train_300 No objects detected Detection preview by Segmentation_v8_large_300_train_300
Original Image: P05809.jpg
GT: pliers
pliers Detection preview by Box_v11_medium_train_SIXray_OPIXray No objects detected Detection preview by DN_Medium_300_yolov8m_20t7_new No objects detected Detection preview by Segmentatation_v8_medium_train_250 No objects detected Detection preview by Segmentation_V11_large_300_train_300 No objects detected Detection preview by Segmentation_v8_large_300_train_300
Original Image: P05810.jpg
GT: wrench
wrench Detection preview by Box_v11_medium_train_SIXray_OPIXray No objects detected Detection preview by DN_Medium_300_yolov8m_20t7_new wrench Detection preview by Segmentatation_v8_medium_train_250 wrench Detection preview by Segmentation_V11_large_300_train_300 wrench Detection preview by Segmentation_v8_large_300_train_300
Original Image: P05811.jpg
GT: wrench
wrench Detection preview by Box_v11_medium_train_SIXray_OPIXray No objects detected Detection preview by DN_Medium_300_yolov8m_20t7_new wrench Detection preview by Segmentatation_v8_medium_train_250 wrench Detection preview by Segmentation_V11_large_300_train_300 wrench Detection preview by Segmentation_v8_large_300_train_300
Original Image: P05812.jpg
GT: wrench
wrench Detection preview by Box_v11_medium_train_SIXray_OPIXray scissor Detection preview by DN_Medium_300_yolov8m_20t7_new wrench Detection preview by Segmentatation_v8_medium_train_250 wrench Detection preview by Segmentation_V11_large_300_train_300 wrench Detection preview by Segmentation_v8_large_300_train_300
Original Image: P05813.jpg
GT: wrench
wrench Detection preview by Box_v11_medium_train_SIXray_OPIXray No objects detected Detection preview by DN_Medium_300_yolov8m_20t7_new wrench Detection preview by Segmentatation_v8_medium_train_250 wrench Detection preview by Segmentation_V11_large_300_train_300 wrench Detection preview by Segmentation_v8_large_300_train_300
Original Image: P05814.jpg
GT: pliers
pliers Detection preview by Box_v11_medium_train_SIXray_OPIXray No objects detected Detection preview by DN_Medium_300_yolov8m_20t7_new No objects detected Detection preview by Segmentatation_v8_medium_train_250 No objects detected Detection preview by Segmentation_V11_large_300_train_300 No objects detected Detection preview by Segmentation_v8_large_300_train_300
Original Image: P05815.jpg
GT: pliers
pliers Detection preview by Box_v11_medium_train_SIXray_OPIXray No objects detected Detection preview by DN_Medium_300_yolov8m_20t7_new No objects detected Detection preview by Segmentatation_v8_medium_train_250 No objects detected Detection preview by Segmentation_V11_large_300_train_300 No objects detected Detection preview by Segmentation_v8_large_300_train_300
Original Image: P05816.jpg
GT: pliers
pliers Detection preview by Box_v11_medium_train_SIXray_OPIXray No objects detected Detection preview by DN_Medium_300_yolov8m_20t7_new No objects detected Detection preview by Segmentatation_v8_medium_train_250 No objects detected Detection preview by Segmentation_V11_large_300_train_300 No objects detected Detection preview by Segmentation_v8_large_300_train_300
Original Image: P05817.jpg
GT: pliers
pliers Detection preview by Box_v11_medium_train_SIXray_OPIXray No objects detected Detection preview by DN_Medium_300_yolov8m_20t7_new No objects detected Detection preview by Segmentatation_v8_medium_train_250 No objects detected Detection preview by Segmentation_V11_large_300_train_300 No objects detected Detection preview by Segmentation_v8_large_300_train_300
Original Image: P05818.jpg
GT: pliers
pliers Detection preview by Box_v11_medium_train_SIXray_OPIXray No objects detected Detection preview by DN_Medium_300_yolov8m_20t7_new No objects detected Detection preview by Segmentatation_v8_medium_train_250 No objects detected Detection preview by Segmentation_V11_large_300_train_300 No objects detected Detection preview by Segmentation_v8_large_300_train_300
Original Image: P05819.jpg
GT: pliers
pliers Detection preview by Box_v11_medium_train_SIXray_OPIXray No objects detected Detection preview by DN_Medium_300_yolov8m_20t7_new No objects detected Detection preview by Segmentatation_v8_medium_train_250 No objects detected Detection preview by Segmentation_V11_large_300_train_300 No objects detected Detection preview by Segmentation_v8_large_300_train_300
Original Image: P05820.jpg
GT: scissors
scissor Detection preview by Box_v11_medium_train_SIXray_OPIXray No objects detected Detection preview by DN_Medium_300_yolov8m_20t7_new scissor Detection preview by Segmentatation_v8_medium_train_250 scissor Detection preview by Segmentation_V11_large_300_train_300 scissor Detection preview by Segmentation_v8_large_300_train_300
Original Image: P05821.jpg
GT: pliers
pliers Detection preview by Box_v11_medium_train_SIXray_OPIXray No objects detected Detection preview by DN_Medium_300_yolov8m_20t7_new No objects detected Detection preview by Segmentatation_v8_medium_train_250 No objects detected Detection preview by Segmentation_V11_large_300_train_300 No objects detected Detection preview by Segmentation_v8_large_300_train_300
Original Image: P05822.jpg
GT: pliers
pliers Detection preview by Box_v11_medium_train_SIXray_OPIXray No objects detected Detection preview by DN_Medium_300_yolov8m_20t7_new No objects detected Detection preview by Segmentatation_v8_medium_train_250 scissor Detection preview by Segmentation_V11_large_300_train_300 No objects detected Detection preview by Segmentation_v8_large_300_train_300
Original Image: P05823.jpg
GT: pliers
pliers Detection preview by Box_v11_medium_train_SIXray_OPIXray No objects detected Detection preview by DN_Medium_300_yolov8m_20t7_new No objects detected Detection preview by Segmentatation_v8_medium_train_250 No objects detected Detection preview by Segmentation_V11_large_300_train_300 No objects detected Detection preview by Segmentation_v8_large_300_train_300
Original Image: P05824.jpg
GT: pliers
pliers Detection preview by Box_v11_medium_train_SIXray_OPIXray No objects detected Detection preview by DN_Medium_300_yolov8m_20t7_new No objects detected Detection preview by Segmentatation_v8_medium_train_250 No objects detected Detection preview by Segmentation_V11_large_300_train_300 No objects detected Detection preview by Segmentation_v8_large_300_train_300
Original Image: P05825.jpg
GT: pliers
pliers Detection preview by Box_v11_medium_train_SIXray_OPIXray No objects detected Detection preview by DN_Medium_300_yolov8m_20t7_new No objects detected Detection preview by Segmentatation_v8_medium_train_250 No objects detected Detection preview by Segmentation_V11_large_300_train_300 No objects detected Detection preview by Segmentation_v8_large_300_train_300
Original Image: P05826.jpg
GT: pliers
pliers Detection preview by Box_v11_medium_train_SIXray_OPIXray No objects detected Detection preview by DN_Medium_300_yolov8m_20t7_new No objects detected Detection preview by Segmentatation_v8_medium_train_250 No objects detected Detection preview by Segmentation_V11_large_300_train_300 No objects detected Detection preview by Segmentation_v8_large_300_train_300
Original Image: P05827.jpg
GT: wrench
wrench Detection preview by Box_v11_medium_train_SIXray_OPIXray No objects detected Detection preview by DN_Medium_300_yolov8m_20t7_new wrench Detection preview by Segmentatation_v8_medium_train_250 wrench Detection preview by Segmentation_V11_large_300_train_300 wrench Detection preview by Segmentation_v8_large_300_train_300
Original Image: P05828.jpg
GT: wrench
wrench Detection preview by Box_v11_medium_train_SIXray_OPIXray No objects detected Detection preview by DN_Medium_300_yolov8m_20t7_new wrench Detection preview by Segmentatation_v8_medium_train_250 wrench Detection preview by Segmentation_V11_large_300_train_300 wrench Detection preview by Segmentation_v8_large_300_train_300
Original Image: P05829.jpg
GT: pliers, wrench
pliers, wrench Detection preview by Box_v11_medium_train_SIXray_OPIXray No objects detected Detection preview by DN_Medium_300_yolov8m_20t7_new wrench Detection preview by Segmentatation_v8_medium_train_250 wrench Detection preview by Segmentation_V11_large_300_train_300 wrench Detection preview by Segmentation_v8_large_300_train_300
Original Image: P05830.jpg
GT: pliers, wrench
pliers, wrench Detection preview by Box_v11_medium_train_SIXray_OPIXray No objects detected Detection preview by DN_Medium_300_yolov8m_20t7_new wrench Detection preview by Segmentatation_v8_medium_train_250 wrench Detection preview by Segmentation_V11_large_300_train_300 wrench Detection preview by Segmentation_v8_large_300_train_300
Original Image: P05831.jpg
GT: pliers, wrench
pliers, wrench Detection preview by Box_v11_medium_train_SIXray_OPIXray No objects detected Detection preview by DN_Medium_300_yolov8m_20t7_new wrench Detection preview by Segmentatation_v8_medium_train_250 wrench Detection preview by Segmentation_V11_large_300_train_300 wrench Detection preview by Segmentation_v8_large_300_train_300
Original Image: P05832.jpg
GT: scissors
scissor Detection preview by Box_v11_medium_train_SIXray_OPIXray No objects detected Detection preview by DN_Medium_300_yolov8m_20t7_new scissor Detection preview by Segmentatation_v8_medium_train_250 scissor Detection preview by Segmentation_V11_large_300_train_300 scissor Detection preview by Segmentation_v8_large_300_train_300
Original Image: P05833.jpg
GT: scissors
scissor Detection preview by Box_v11_medium_train_SIXray_OPIXray No objects detected Detection preview by DN_Medium_300_yolov8m_20t7_new scissor Detection preview by Segmentatation_v8_medium_train_250 scissor Detection preview by Segmentation_V11_large_300_train_300 scissor Detection preview by Segmentation_v8_large_300_train_300
Original Image: P05834.jpg
GT: scissors
scissor Detection preview by Box_v11_medium_train_SIXray_OPIXray No objects detected Detection preview by DN_Medium_300_yolov8m_20t7_new scissor Detection preview by Segmentatation_v8_medium_train_250 scissor Detection preview by Segmentation_V11_large_300_train_300 scissor Detection preview by Segmentation_v8_large_300_train_300
Original Image: P05835.jpg
GT: pliers
pliers Detection preview by Box_v11_medium_train_SIXray_OPIXray No objects detected Detection preview by DN_Medium_300_yolov8m_20t7_new No objects detected Detection preview by Segmentatation_v8_medium_train_250 wrench Detection preview by Segmentation_V11_large_300_train_300 No objects detected Detection preview by Segmentation_v8_large_300_train_300
Original Image: P05836.jpg
GT: pliers
pliers Detection preview by Box_v11_medium_train_SIXray_OPIXray No objects detected Detection preview by DN_Medium_300_yolov8m_20t7_new wrench Detection preview by Segmentatation_v8_medium_train_250 No objects detected Detection preview by Segmentation_V11_large_300_train_300 No objects detected Detection preview by Segmentation_v8_large_300_train_300
Original Image: P05837.jpg
GT: pliers
pliers Detection preview by Box_v11_medium_train_SIXray_OPIXray No objects detected Detection preview by DN_Medium_300_yolov8m_20t7_new No objects detected Detection preview by Segmentatation_v8_medium_train_250 No objects detected Detection preview by Segmentation_V11_large_300_train_300 No objects detected Detection preview by Segmentation_v8_large_300_train_300
Original Image: P05838.jpg
GT: pliers, wrench
pliers, wrench Detection preview by Box_v11_medium_train_SIXray_OPIXray No objects detected Detection preview by DN_Medium_300_yolov8m_20t7_new wrench Detection preview by Segmentatation_v8_medium_train_250 wrench Detection preview by Segmentation_V11_large_300_train_300 wrench Detection preview by Segmentation_v8_large_300_train_300
Original Image: P05839.jpg
GT: pliers, wrench
pliers, wrench Detection preview by Box_v11_medium_train_SIXray_OPIXray No objects detected Detection preview by DN_Medium_300_yolov8m_20t7_new wrench Detection preview by Segmentatation_v8_medium_train_250 wrench Detection preview by Segmentation_V11_large_300_train_300 wrench Detection preview by Segmentation_v8_large_300_train_300
Original Image: P05840.jpg
GT: pliers, wrench
pliers, wrench Detection preview by Box_v11_medium_train_SIXray_OPIXray No objects detected Detection preview by DN_Medium_300_yolov8m_20t7_new wrench Detection preview by Segmentatation_v8_medium_train_250 wrench Detection preview by Segmentation_V11_large_300_train_300 wrench Detection preview by Segmentation_v8_large_300_train_300
Original Image: P05841.jpg
GT: pliers
pliers Detection preview by Box_v11_medium_train_SIXray_OPIXray No objects detected Detection preview by DN_Medium_300_yolov8m_20t7_new No objects detected Detection preview by Segmentatation_v8_medium_train_250 No objects detected Detection preview by Segmentation_V11_large_300_train_300 No objects detected Detection preview by Segmentation_v8_large_300_train_300
Original Image: P05842.jpg
GT: pliers, wrench
pliers, wrench Detection preview by Box_v11_medium_train_SIXray_OPIXray pliers Detection preview by DN_Medium_300_yolov8m_20t7_new wrench Detection preview by Segmentatation_v8_medium_train_250 wrench Detection preview by Segmentation_V11_large_300_train_300 wrench Detection preview by Segmentation_v8_large_300_train_300
Original Image: P05843.jpg
GT: scissors
scissor Detection preview by Box_v11_medium_train_SIXray_OPIXray No objects detected Detection preview by DN_Medium_300_yolov8m_20t7_new scissor Detection preview by Segmentatation_v8_medium_train_250 scissor Detection preview by Segmentation_V11_large_300_train_300 scissor Detection preview by Segmentation_v8_large_300_train_300
Original Image: P05844.jpg
GT: scissors
scissor Detection preview by Box_v11_medium_train_SIXray_OPIXray No objects detected Detection preview by DN_Medium_300_yolov8m_20t7_new scissor Detection preview by Segmentatation_v8_medium_train_250 scissor Detection preview by Segmentation_V11_large_300_train_300 scissor Detection preview by Segmentation_v8_large_300_train_300
Original Image: P05845.jpg
GT: wrench
wrench Detection preview by Box_v11_medium_train_SIXray_OPIXray No objects detected Detection preview by DN_Medium_300_yolov8m_20t7_new wrench Detection preview by Segmentatation_v8_medium_train_250 wrench Detection preview by Segmentation_V11_large_300_train_300 wrench Detection preview by Segmentation_v8_large_300_train_300
Original Image: P05846.jpg
GT: wrench
wrench Detection preview by Box_v11_medium_train_SIXray_OPIXray No objects detected Detection preview by DN_Medium_300_yolov8m_20t7_new wrench Detection preview by Segmentatation_v8_medium_train_250 wrench Detection preview by Segmentation_V11_large_300_train_300 wrench Detection preview by Segmentation_v8_large_300_train_300
Original Image: P05847.jpg
GT: wrench
wrench Detection preview by Box_v11_medium_train_SIXray_OPIXray No objects detected Detection preview by DN_Medium_300_yolov8m_20t7_new wrench Detection preview by Segmentatation_v8_medium_train_250 wrench Detection preview by Segmentation_V11_large_300_train_300 wrench Detection preview by Segmentation_v8_large_300_train_300
Original Image: P05848.jpg
GT: pliers, wrench
pliers, wrench Detection preview by Box_v11_medium_train_SIXray_OPIXray No objects detected Detection preview by DN_Medium_300_yolov8m_20t7_new wrench Detection preview by Segmentatation_v8_medium_train_250 wrench Detection preview by Segmentation_V11_large_300_train_300 wrench Detection preview by Segmentation_v8_large_300_train_300
Original Image: P05849.jpg
GT: scissors
scissor Detection preview by Box_v11_medium_train_SIXray_OPIXray No objects detected Detection preview by DN_Medium_300_yolov8m_20t7_new scissor Detection preview by Segmentatation_v8_medium_train_250 scissor Detection preview by Segmentation_V11_large_300_train_300 scissor Detection preview by Segmentation_v8_large_300_train_300
Original Image: P05850.jpg
GT: scissors
scissor Detection preview by Box_v11_medium_train_SIXray_OPIXray No objects detected Detection preview by DN_Medium_300_yolov8m_20t7_new scissor Detection preview by Segmentatation_v8_medium_train_250 scissor Detection preview by Segmentation_V11_large_300_train_300 scissor Detection preview by Segmentation_v8_large_300_train_300
Original Image: P05851.jpg
GT: scissors
scissor Detection preview by Box_v11_medium_train_SIXray_OPIXray No objects detected Detection preview by DN_Medium_300_yolov8m_20t7_new scissor Detection preview by Segmentatation_v8_medium_train_250 scissor Detection preview by Segmentation_V11_large_300_train_300 scissor Detection preview by Segmentation_v8_large_300_train_300
Original Image: P05852.jpg
GT: scissors
scissor Detection preview by Box_v11_medium_train_SIXray_OPIXray No objects detected Detection preview by DN_Medium_300_yolov8m_20t7_new scissor Detection preview by Segmentatation_v8_medium_train_250 scissor Detection preview by Segmentation_V11_large_300_train_300 scissor Detection preview by Segmentation_v8_large_300_train_300
Original Image: P05853.jpg
GT: scissors
scissor Detection preview by Box_v11_medium_train_SIXray_OPIXray No objects detected Detection preview by DN_Medium_300_yolov8m_20t7_new scissor Detection preview by Segmentatation_v8_medium_train_250 scissor Detection preview by Segmentation_V11_large_300_train_300 scissor Detection preview by Segmentation_v8_large_300_train_300
Original Image: P05854.jpg
GT: pliers, wrench
pliers, wrench Detection preview by Box_v11_medium_train_SIXray_OPIXray No objects detected Detection preview by DN_Medium_300_yolov8m_20t7_new wrench Detection preview by Segmentatation_v8_medium_train_250 wrench Detection preview by Segmentation_V11_large_300_train_300 wrench Detection preview by Segmentation_v8_large_300_train_300
Original Image: P05855.jpg
GT: pliers, wrench
pliers, wrench Detection preview by Box_v11_medium_train_SIXray_OPIXray pliers Detection preview by DN_Medium_300_yolov8m_20t7_new wrench Detection preview by Segmentatation_v8_medium_train_250 wrench Detection preview by Segmentation_V11_large_300_train_300 wrench Detection preview by Segmentation_v8_large_300_train_300
Original Image: P05856.jpg
GT: pliers, wrench
pliers, wrench Detection preview by Box_v11_medium_train_SIXray_OPIXray No objects detected Detection preview by DN_Medium_300_yolov8m_20t7_new wrench Detection preview by Segmentatation_v8_medium_train_250 wrench Detection preview by Segmentation_V11_large_300_train_300 wrench Detection preview by Segmentation_v8_large_300_train_300
Original Image: P05857.jpg
GT: pliers
pliers Detection preview by Box_v11_medium_train_SIXray_OPIXray No objects detected Detection preview by DN_Medium_300_yolov8m_20t7_new No objects detected Detection preview by Segmentatation_v8_medium_train_250 No objects detected Detection preview by Segmentation_V11_large_300_train_300 No objects detected Detection preview by Segmentation_v8_large_300_train_300
Original Image: P05858.jpg
GT: pliers, wrench
pliers, wrench Detection preview by Box_v11_medium_train_SIXray_OPIXray No objects detected Detection preview by DN_Medium_300_yolov8m_20t7_new wrench Detection preview by Segmentatation_v8_medium_train_250 wrench Detection preview by Segmentation_V11_large_300_train_300 wrench Detection preview by Segmentation_v8_large_300_train_300
Original Image: P05859.jpg
GT: pliers
pliers Detection preview by Box_v11_medium_train_SIXray_OPIXray pliers Detection preview by DN_Medium_300_yolov8m_20t7_new No objects detected Detection preview by Segmentatation_v8_medium_train_250 No objects detected Detection preview by Segmentation_V11_large_300_train_300 No objects detected Detection preview by Segmentation_v8_large_300_train_300
Original Image: P05860.jpg
GT: pliers
pliers Detection preview by Box_v11_medium_train_SIXray_OPIXray pliers Detection preview by DN_Medium_300_yolov8m_20t7_new No objects detected Detection preview by Segmentatation_v8_medium_train_250 No objects detected Detection preview by Segmentation_V11_large_300_train_300 No objects detected Detection preview by Segmentation_v8_large_300_train_300
Original Image: P05861.jpg
GT: pliers, wrench
pliers, wrench Detection preview by Box_v11_medium_train_SIXray_OPIXray pliers Detection preview by DN_Medium_300_yolov8m_20t7_new wrench Detection preview by Segmentatation_v8_medium_train_250 wrench Detection preview by Segmentation_V11_large_300_train_300 wrench Detection preview by Segmentation_v8_large_300_train_300
Original Image: P05862.jpg
GT: pliers, wrench
pliers, wrench Detection preview by Box_v11_medium_train_SIXray_OPIXray pliers Detection preview by DN_Medium_300_yolov8m_20t7_new wrench Detection preview by Segmentatation_v8_medium_train_250 wrench Detection preview by Segmentation_V11_large_300_train_300 wrench Detection preview by Segmentation_v8_large_300_train_300
Original Image: P05863.jpg
GT: pliers, wrench
pliers, wrench Detection preview by Box_v11_medium_train_SIXray_OPIXray pliers Detection preview by DN_Medium_300_yolov8m_20t7_new wrench Detection preview by Segmentatation_v8_medium_train_250 wrench Detection preview by Segmentation_V11_large_300_train_300 wrench Detection preview by Segmentation_v8_large_300_train_300
Original Image: P05864.jpg
GT: pliers, wrench
pliers, wrench Detection preview by Box_v11_medium_train_SIXray_OPIXray pliers Detection preview by DN_Medium_300_yolov8m_20t7_new wrench Detection preview by Segmentatation_v8_medium_train_250 wrench Detection preview by Segmentation_V11_large_300_train_300 wrench Detection preview by Segmentation_v8_large_300_train_300
Original Image: P05865.jpg
GT: wrench
wrench Detection preview by Box_v11_medium_train_SIXray_OPIXray No objects detected Detection preview by DN_Medium_300_yolov8m_20t7_new wrench Detection preview by Segmentatation_v8_medium_train_250 wrench Detection preview by Segmentation_V11_large_300_train_300 wrench Detection preview by Segmentation_v8_large_300_train_300
Original Image: P05866.jpg
GT: wrench
wrench Detection preview by Box_v11_medium_train_SIXray_OPIXray No objects detected Detection preview by DN_Medium_300_yolov8m_20t7_new wrench Detection preview by Segmentatation_v8_medium_train_250 wrench Detection preview by Segmentation_V11_large_300_train_300 wrench Detection preview by Segmentation_v8_large_300_train_300
Original Image: P05867.jpg
GT: pliers
pliers Detection preview by Box_v11_medium_train_SIXray_OPIXray pliers Detection preview by DN_Medium_300_yolov8m_20t7_new No objects detected Detection preview by Segmentatation_v8_medium_train_250 No objects detected Detection preview by Segmentation_V11_large_300_train_300 No objects detected Detection preview by Segmentation_v8_large_300_train_300
Original Image: P05868.jpg
GT: pliers, wrench
pliers, wrench Detection preview by Box_v11_medium_train_SIXray_OPIXray pliers Detection preview by DN_Medium_300_yolov8m_20t7_new wrench Detection preview by Segmentatation_v8_medium_train_250 wrench Detection preview by Segmentation_V11_large_300_train_300 wrench Detection preview by Segmentation_v8_large_300_train_300
Original Image: P05869.jpg
GT: pliers
pliers Detection preview by Box_v11_medium_train_SIXray_OPIXray pliers Detection preview by DN_Medium_300_yolov8m_20t7_new No objects detected Detection preview by Segmentatation_v8_medium_train_250 No objects detected Detection preview by Segmentation_V11_large_300_train_300 No objects detected Detection preview by Segmentation_v8_large_300_train_300
Original Image: P05870.jpg
GT: pliers
pliers Detection preview by Box_v11_medium_train_SIXray_OPIXray pliers Detection preview by DN_Medium_300_yolov8m_20t7_new No objects detected Detection preview by Segmentatation_v8_medium_train_250 No objects detected Detection preview by Segmentation_V11_large_300_train_300 No objects detected Detection preview by Segmentation_v8_large_300_train_300
Original Image: P05871.jpg
GT: pliers
pliers Detection preview by Box_v11_medium_train_SIXray_OPIXray pliers Detection preview by DN_Medium_300_yolov8m_20t7_new No objects detected Detection preview by Segmentatation_v8_medium_train_250 No objects detected Detection preview by Segmentation_V11_large_300_train_300 No objects detected Detection preview by Segmentation_v8_large_300_train_300
Original Image: P05872.jpg
GT: pliers
pliers Detection preview by Box_v11_medium_train_SIXray_OPIXray No objects detected Detection preview by DN_Medium_300_yolov8m_20t7_new No objects detected Detection preview by Segmentatation_v8_medium_train_250 No objects detected Detection preview by Segmentation_V11_large_300_train_300 No objects detected Detection preview by Segmentation_v8_large_300_train_300
Original Image: P05873.jpg
GT: pliers
pliers Detection preview by Box_v11_medium_train_SIXray_OPIXray No objects detected Detection preview by DN_Medium_300_yolov8m_20t7_new No objects detected Detection preview by Segmentatation_v8_medium_train_250 No objects detected Detection preview by Segmentation_V11_large_300_train_300 No objects detected Detection preview by Segmentation_v8_large_300_train_300
Original Image: P05874.jpg
GT: wrench
wrench Detection preview by Box_v11_medium_train_SIXray_OPIXray No objects detected Detection preview by DN_Medium_300_yolov8m_20t7_new wrench Detection preview by Segmentatation_v8_medium_train_250 wrench Detection preview by Segmentation_V11_large_300_train_300 wrench Detection preview by Segmentation_v8_large_300_train_300
Original Image: P05875.jpg
GT: pliers, wrench
pliers, wrench Detection preview by Box_v11_medium_train_SIXray_OPIXray No objects detected Detection preview by DN_Medium_300_yolov8m_20t7_new wrench Detection preview by Segmentatation_v8_medium_train_250 wrench Detection preview by Segmentation_V11_large_300_train_300 wrench Detection preview by Segmentation_v8_large_300_train_300
Original Image: P05876.jpg
GT: pliers, wrench
pliers, wrench Detection preview by Box_v11_medium_train_SIXray_OPIXray No objects detected Detection preview by DN_Medium_300_yolov8m_20t7_new wrench Detection preview by Segmentatation_v8_medium_train_250 wrench Detection preview by Segmentation_V11_large_300_train_300 wrench Detection preview by Segmentation_v8_large_300_train_300
Original Image: P05877.jpg
GT: pliers, wrench
pliers, wrench Detection preview by Box_v11_medium_train_SIXray_OPIXray No objects detected Detection preview by DN_Medium_300_yolov8m_20t7_new wrench Detection preview by Segmentatation_v8_medium_train_250 wrench Detection preview by Segmentation_V11_large_300_train_300 wrench Detection preview by Segmentation_v8_large_300_train_300
Original Image: P05878.jpg
GT: pliers, wrench
pliers, wrench Detection preview by Box_v11_medium_train_SIXray_OPIXray No objects detected Detection preview by DN_Medium_300_yolov8m_20t7_new wrench Detection preview by Segmentatation_v8_medium_train_250 wrench Detection preview by Segmentation_V11_large_300_train_300 wrench Detection preview by Segmentation_v8_large_300_train_300
Original Image: P05879.jpg
GT: pliers
pliers Detection preview by Box_v11_medium_train_SIXray_OPIXray No objects detected Detection preview by DN_Medium_300_yolov8m_20t7_new No objects detected Detection preview by Segmentatation_v8_medium_train_250 No objects detected Detection preview by Segmentation_V11_large_300_train_300 No objects detected Detection preview by Segmentation_v8_large_300_train_300
Original Image: P05880.jpg
GT: pliers
pliers Detection preview by Box_v11_medium_train_SIXray_OPIXray No objects detected Detection preview by DN_Medium_300_yolov8m_20t7_new No objects detected Detection preview by Segmentatation_v8_medium_train_250 knife Detection preview by Segmentation_V11_large_300_train_300 No objects detected Detection preview by Segmentation_v8_large_300_train_300
Original Image: P05881.jpg
GT: scissors
scissor Detection preview by Box_v11_medium_train_SIXray_OPIXray No objects detected Detection preview by DN_Medium_300_yolov8m_20t7_new No objects detected Detection preview by Segmentatation_v8_medium_train_250 scissor Detection preview by Segmentation_V11_large_300_train_300 scissor Detection preview by Segmentation_v8_large_300_train_300
Original Image: P05882.jpg
GT: scissors
scissor Detection preview by Box_v11_medium_train_SIXray_OPIXray No objects detected Detection preview by DN_Medium_300_yolov8m_20t7_new No objects detected Detection preview by Segmentatation_v8_medium_train_250 scissor Detection preview by Segmentation_V11_large_300_train_300 scissor Detection preview by Segmentation_v8_large_300_train_300
Original Image: P05883.jpg
GT: scissors
scissor Detection preview by Box_v11_medium_train_SIXray_OPIXray No objects detected Detection preview by DN_Medium_300_yolov8m_20t7_new scissor Detection preview by Segmentatation_v8_medium_train_250 scissor Detection preview by Segmentation_V11_large_300_train_300 scissor Detection preview by Segmentation_v8_large_300_train_300
Original Image: P05884.jpg
GT: pliers, wrench
pliers, wrench Detection preview by Box_v11_medium_train_SIXray_OPIXray No objects detected Detection preview by DN_Medium_300_yolov8m_20t7_new wrench Detection preview by Segmentatation_v8_medium_train_250 wrench Detection preview by Segmentation_V11_large_300_train_300 wrench Detection preview by Segmentation_v8_large_300_train_300
Original Image: P05885.jpg
GT: pliers, wrench
pliers, wrench Detection preview by Box_v11_medium_train_SIXray_OPIXray No objects detected Detection preview by DN_Medium_300_yolov8m_20t7_new wrench Detection preview by Segmentatation_v8_medium_train_250 wrench Detection preview by Segmentation_V11_large_300_train_300 wrench Detection preview by Segmentation_v8_large_300_train_300
Original Image: P05886.jpg
GT: pliers, wrench
pliers, wrench Detection preview by Box_v11_medium_train_SIXray_OPIXray No objects detected Detection preview by DN_Medium_300_yolov8m_20t7_new wrench Detection preview by Segmentatation_v8_medium_train_250 wrench Detection preview by Segmentation_V11_large_300_train_300 wrench Detection preview by Segmentation_v8_large_300_train_300
Original Image: P05887.jpg
GT: pliers, wrench
pliers, wrench Detection preview by Box_v11_medium_train_SIXray_OPIXray No objects detected Detection preview by DN_Medium_300_yolov8m_20t7_new wrench Detection preview by Segmentatation_v8_medium_train_250 wrench Detection preview by Segmentation_V11_large_300_train_300 wrench Detection preview by Segmentation_v8_large_300_train_300
Original Image: P05888.jpg
GT: pliers
pliers Detection preview by Box_v11_medium_train_SIXray_OPIXray No objects detected Detection preview by DN_Medium_300_yolov8m_20t7_new No objects detected Detection preview by Segmentatation_v8_medium_train_250 No objects detected Detection preview by Segmentation_V11_large_300_train_300 No objects detected Detection preview by Segmentation_v8_large_300_train_300
Original Image: P05889.jpg
GT: pliers
pliers Detection preview by Box_v11_medium_train_SIXray_OPIXray No objects detected Detection preview by DN_Medium_300_yolov8m_20t7_new No objects detected Detection preview by Segmentatation_v8_medium_train_250 No objects detected Detection preview by Segmentation_V11_large_300_train_300 No objects detected Detection preview by Segmentation_v8_large_300_train_300
Original Image: P05890.jpg
GT: pliers
pliers Detection preview by Box_v11_medium_train_SIXray_OPIXray No objects detected Detection preview by DN_Medium_300_yolov8m_20t7_new No objects detected Detection preview by Segmentatation_v8_medium_train_250 No objects detected Detection preview by Segmentation_V11_large_300_train_300 No objects detected Detection preview by Segmentation_v8_large_300_train_300
Original Image: P05891.jpg
GT: pliers
pliers Detection preview by Box_v11_medium_train_SIXray_OPIXray No objects detected Detection preview by DN_Medium_300_yolov8m_20t7_new No objects detected Detection preview by Segmentatation_v8_medium_train_250 No objects detected Detection preview by Segmentation_V11_large_300_train_300 No objects detected Detection preview by Segmentation_v8_large_300_train_300
Original Image: P05892.jpg
GT: pliers
pliers Detection preview by Box_v11_medium_train_SIXray_OPIXray No objects detected Detection preview by DN_Medium_300_yolov8m_20t7_new No objects detected Detection preview by Segmentatation_v8_medium_train_250 No objects detected Detection preview by Segmentation_V11_large_300_train_300 No objects detected Detection preview by Segmentation_v8_large_300_train_300
Original Image: P05893.jpg
GT: wrench
wrench Detection preview by Box_v11_medium_train_SIXray_OPIXray No objects detected Detection preview by DN_Medium_300_yolov8m_20t7_new wrench Detection preview by Segmentatation_v8_medium_train_250 wrench Detection preview by Segmentation_V11_large_300_train_300 wrench Detection preview by Segmentation_v8_large_300_train_300
Original Image: P05894.jpg
GT: knife
knife Detection preview by Box_v11_medium_train_SIXray_OPIXray No objects detected Detection preview by DN_Medium_300_yolov8m_20t7_new knife Detection preview by Segmentatation_v8_medium_train_250 knife Detection preview by Segmentation_V11_large_300_train_300 knife Detection preview by Segmentation_v8_large_300_train_300
Original Image: P05895.jpg
GT: knife
knife Detection preview by Box_v11_medium_train_SIXray_OPIXray No objects detected Detection preview by DN_Medium_300_yolov8m_20t7_new knife Detection preview by Segmentatation_v8_medium_train_250 knife Detection preview by Segmentation_V11_large_300_train_300 knife Detection preview by Segmentation_v8_large_300_train_300
Original Image: P05896.jpg
GT: knife
knife Detection preview by Box_v11_medium_train_SIXray_OPIXray No objects detected Detection preview by DN_Medium_300_yolov8m_20t7_new knife Detection preview by Segmentatation_v8_medium_train_250 knife Detection preview by Segmentation_V11_large_300_train_300 knife Detection preview by Segmentation_v8_large_300_train_300
Original Image: P05897.jpg
GT: pliers
pliers Detection preview by Box_v11_medium_train_SIXray_OPIXray No objects detected Detection preview by DN_Medium_300_yolov8m_20t7_new No objects detected Detection preview by Segmentatation_v8_medium_train_250 No objects detected Detection preview by Segmentation_V11_large_300_train_300 No objects detected Detection preview by Segmentation_v8_large_300_train_300
Original Image: P05898.jpg
GT: pliers
pliers Detection preview by Box_v11_medium_train_SIXray_OPIXray No objects detected Detection preview by DN_Medium_300_yolov8m_20t7_new No objects detected Detection preview by Segmentatation_v8_medium_train_250 No objects detected Detection preview by Segmentation_V11_large_300_train_300 No objects detected Detection preview by Segmentation_v8_large_300_train_300
Original Image: P05899.jpg
GT: pliers
pliers Detection preview by Box_v11_medium_train_SIXray_OPIXray No objects detected Detection preview by DN_Medium_300_yolov8m_20t7_new No objects detected Detection preview by Segmentatation_v8_medium_train_250 No objects detected Detection preview by Segmentation_V11_large_300_train_300 No objects detected Detection preview by Segmentation_v8_large_300_train_300
Original Image: P05900.jpg
GT: pliers, wrench
pliers, wrench Detection preview by Box_v11_medium_train_SIXray_OPIXray No objects detected Detection preview by DN_Medium_300_yolov8m_20t7_new wrench Detection preview by Segmentatation_v8_medium_train_250 wrench Detection preview by Segmentation_V11_large_300_train_300 wrench Detection preview by Segmentation_v8_large_300_train_300
Original Image: P05901.jpg
GT: pliers
pliers Detection preview by Box_v11_medium_train_SIXray_OPIXray No objects detected Detection preview by DN_Medium_300_yolov8m_20t7_new No objects detected Detection preview by Segmentatation_v8_medium_train_250 No objects detected Detection preview by Segmentation_V11_large_300_train_300 No objects detected Detection preview by Segmentation_v8_large_300_train_300
Original Image: P05902.jpg
GT: pliers, wrench
pliers, wrench Detection preview by Box_v11_medium_train_SIXray_OPIXray No objects detected Detection preview by DN_Medium_300_yolov8m_20t7_new wrench Detection preview by Segmentatation_v8_medium_train_250 wrench Detection preview by Segmentation_V11_large_300_train_300 wrench Detection preview by Segmentation_v8_large_300_train_300
Original Image: P05903.jpg
GT: pliers, wrench
pliers, wrench Detection preview by Box_v11_medium_train_SIXray_OPIXray No objects detected Detection preview by DN_Medium_300_yolov8m_20t7_new wrench Detection preview by Segmentatation_v8_medium_train_250 wrench Detection preview by Segmentation_V11_large_300_train_300 wrench Detection preview by Segmentation_v8_large_300_train_300
Original Image: P05904.jpg
GT: scissors
scissor Detection preview by Box_v11_medium_train_SIXray_OPIXray No objects detected Detection preview by DN_Medium_300_yolov8m_20t7_new scissor Detection preview by Segmentatation_v8_medium_train_250 scissor Detection preview by Segmentation_V11_large_300_train_300 scissor Detection preview by Segmentation_v8_large_300_train_300
Original Image: P05905.jpg
GT: scissors
scissor Detection preview by Box_v11_medium_train_SIXray_OPIXray No objects detected Detection preview by DN_Medium_300_yolov8m_20t7_new scissor Detection preview by Segmentatation_v8_medium_train_250 scissor Detection preview by Segmentation_V11_large_300_train_300 scissor Detection preview by Segmentation_v8_large_300_train_300
Original Image: P05906.jpg
GT: pliers, wrench
pliers, wrench Detection preview by Box_v11_medium_train_SIXray_OPIXray No objects detected Detection preview by DN_Medium_300_yolov8m_20t7_new wrench Detection preview by Segmentatation_v8_medium_train_250 wrench Detection preview by Segmentation_V11_large_300_train_300 wrench Detection preview by Segmentation_v8_large_300_train_300
Original Image: P05907.jpg
GT: pliers, wrench
pliers, wrench Detection preview by Box_v11_medium_train_SIXray_OPIXray No objects detected Detection preview by DN_Medium_300_yolov8m_20t7_new wrench Detection preview by Segmentatation_v8_medium_train_250 wrench Detection preview by Segmentation_V11_large_300_train_300 wrench Detection preview by Segmentation_v8_large_300_train_300
Original Image: P05908.jpg
GT: pliers, wrench
pliers, wrench Detection preview by Box_v11_medium_train_SIXray_OPIXray No objects detected Detection preview by DN_Medium_300_yolov8m_20t7_new wrench Detection preview by Segmentatation_v8_medium_train_250 wrench Detection preview by Segmentation_V11_large_300_train_300 wrench Detection preview by Segmentation_v8_large_300_train_300
Original Image: P05909.jpg
GT: wrench
wrench Detection preview by Box_v11_medium_train_SIXray_OPIXray No objects detected Detection preview by DN_Medium_300_yolov8m_20t7_new wrench Detection preview by Segmentatation_v8_medium_train_250 wrench Detection preview by Segmentation_V11_large_300_train_300 wrench Detection preview by Segmentation_v8_large_300_train_300
Original Image: P05910.jpg
GT: pliers, wrench
pliers, wrench Detection preview by Box_v11_medium_train_SIXray_OPIXray No objects detected Detection preview by DN_Medium_300_yolov8m_20t7_new No objects detected Detection preview by Segmentatation_v8_medium_train_250 No objects detected Detection preview by Segmentation_V11_large_300_train_300 No objects detected Detection preview by Segmentation_v8_large_300_train_300
Original Image: P05911.jpg
GT: pliers, wrench
pliers, wrench Detection preview by Box_v11_medium_train_SIXray_OPIXray No objects detected Detection preview by DN_Medium_300_yolov8m_20t7_new No objects detected Detection preview by Segmentatation_v8_medium_train_250 No objects detected Detection preview by Segmentation_V11_large_300_train_300 No objects detected Detection preview by Segmentation_v8_large_300_train_300
Original Image: P05912.jpg
GT: wrench
wrench Detection preview by Box_v11_medium_train_SIXray_OPIXray No objects detected Detection preview by DN_Medium_300_yolov8m_20t7_new No objects detected Detection preview by Segmentatation_v8_medium_train_250 wrench Detection preview by Segmentation_V11_large_300_train_300 No objects detected Detection preview by Segmentation_v8_large_300_train_300
Original Image: P05913.jpg
GT: pliers, wrench
pliers, wrench Detection preview by Box_v11_medium_train_SIXray_OPIXray No objects detected Detection preview by DN_Medium_300_yolov8m_20t7_new wrench Detection preview by Segmentatation_v8_medium_train_250 wrench Detection preview by Segmentation_V11_large_300_train_300 wrench Detection preview by Segmentation_v8_large_300_train_300
Original Image: P05914.jpg
GT: pliers, wrench
pliers, wrench Detection preview by Box_v11_medium_train_SIXray_OPIXray No objects detected Detection preview by DN_Medium_300_yolov8m_20t7_new wrench Detection preview by Segmentatation_v8_medium_train_250 wrench Detection preview by Segmentation_V11_large_300_train_300 wrench Detection preview by Segmentation_v8_large_300_train_300
Original Image: P05915.jpg
GT: pliers, wrench
pliers, wrench Detection preview by Box_v11_medium_train_SIXray_OPIXray pliers Detection preview by DN_Medium_300_yolov8m_20t7_new wrench Detection preview by Segmentatation_v8_medium_train_250 wrench Detection preview by Segmentation_V11_large_300_train_300 wrench Detection preview by Segmentation_v8_large_300_train_300
Original Image: P05916.jpg
GT: pliers, wrench
pliers, wrench Detection preview by Box_v11_medium_train_SIXray_OPIXray No objects detected Detection preview by DN_Medium_300_yolov8m_20t7_new wrench Detection preview by Segmentatation_v8_medium_train_250 wrench Detection preview by Segmentation_V11_large_300_train_300 wrench Detection preview by Segmentation_v8_large_300_train_300
Original Image: P05917.jpg
GT: pliers, wrench
pliers, wrench Detection preview by Box_v11_medium_train_SIXray_OPIXray No objects detected Detection preview by DN_Medium_300_yolov8m_20t7_new wrench Detection preview by Segmentatation_v8_medium_train_250 wrench Detection preview by Segmentation_V11_large_300_train_300 wrench Detection preview by Segmentation_v8_large_300_train_300
Original Image: P05918.jpg
GT: pliers, wrench
pliers, wrench Detection preview by Box_v11_medium_train_SIXray_OPIXray No objects detected Detection preview by DN_Medium_300_yolov8m_20t7_new wrench Detection preview by Segmentatation_v8_medium_train_250 wrench Detection preview by Segmentation_V11_large_300_train_300 wrench Detection preview by Segmentation_v8_large_300_train_300
Original Image: P05919.jpg
GT: pliers, wrench
pliers, wrench Detection preview by Box_v11_medium_train_SIXray_OPIXray No objects detected Detection preview by DN_Medium_300_yolov8m_20t7_new wrench Detection preview by Segmentatation_v8_medium_train_250 wrench Detection preview by Segmentation_V11_large_300_train_300 wrench Detection preview by Segmentation_v8_large_300_train_300
Original Image: P05920.jpg
GT: pliers
pliers Detection preview by Box_v11_medium_train_SIXray_OPIXray No objects detected Detection preview by DN_Medium_300_yolov8m_20t7_new No objects detected Detection preview by Segmentatation_v8_medium_train_250 No objects detected Detection preview by Segmentation_V11_large_300_train_300 No objects detected Detection preview by Segmentation_v8_large_300_train_300
Original Image: P05921.jpg
GT: pliers
pliers Detection preview by Box_v11_medium_train_SIXray_OPIXray No objects detected Detection preview by DN_Medium_300_yolov8m_20t7_new No objects detected Detection preview by Segmentatation_v8_medium_train_250 No objects detected Detection preview by Segmentation_V11_large_300_train_300 No objects detected Detection preview by Segmentation_v8_large_300_train_300
Original Image: P05922.jpg
GT: pliers
pliers Detection preview by Box_v11_medium_train_SIXray_OPIXray No objects detected Detection preview by DN_Medium_300_yolov8m_20t7_new No objects detected Detection preview by Segmentatation_v8_medium_train_250 No objects detected Detection preview by Segmentation_V11_large_300_train_300 No objects detected Detection preview by Segmentation_v8_large_300_train_300
Original Image: P05923.jpg
GT: pliers
pliers Detection preview by Box_v11_medium_train_SIXray_OPIXray No objects detected Detection preview by DN_Medium_300_yolov8m_20t7_new No objects detected Detection preview by Segmentatation_v8_medium_train_250 No objects detected Detection preview by Segmentation_V11_large_300_train_300 No objects detected Detection preview by Segmentation_v8_large_300_train_300
Original Image: P05924.jpg
GT: pliers
pliers Detection preview by Box_v11_medium_train_SIXray_OPIXray No objects detected Detection preview by DN_Medium_300_yolov8m_20t7_new No objects detected Detection preview by Segmentatation_v8_medium_train_250 No objects detected Detection preview by Segmentation_V11_large_300_train_300 No objects detected Detection preview by Segmentation_v8_large_300_train_300
Original Image: P05925.jpg
GT: knife, pliers, wrench
knife, pliers, wrench Detection preview by Box_v11_medium_train_SIXray_OPIXray pliers Detection preview by DN_Medium_300_yolov8m_20t7_new scissor, wrench Detection preview by Segmentatation_v8_medium_train_250 scissor, wrench Detection preview by Segmentation_V11_large_300_train_300 scissor, wrench Detection preview by Segmentation_v8_large_300_train_300
Original Image: P05926.jpg
GT: knife, pliers, wrench
knife, pliers, wrench Detection preview by Box_v11_medium_train_SIXray_OPIXray pliers Detection preview by DN_Medium_300_yolov8m_20t7_new scissor, wrench Detection preview by Segmentatation_v8_medium_train_250 scissor, wrench Detection preview by Segmentation_V11_large_300_train_300 scissor, wrench Detection preview by Segmentation_v8_large_300_train_300
Original Image: P05927.jpg
GT: pliers
pliers Detection preview by Box_v11_medium_train_SIXray_OPIXray No objects detected Detection preview by DN_Medium_300_yolov8m_20t7_new No objects detected Detection preview by Segmentatation_v8_medium_train_250 No objects detected Detection preview by Segmentation_V11_large_300_train_300 No objects detected Detection preview by Segmentation_v8_large_300_train_300
Original Image: P05928.jpg
GT: pliers
pliers Detection preview by Box_v11_medium_train_SIXray_OPIXray No objects detected Detection preview by DN_Medium_300_yolov8m_20t7_new No objects detected Detection preview by Segmentatation_v8_medium_train_250 No objects detected Detection preview by Segmentation_V11_large_300_train_300 No objects detected Detection preview by Segmentation_v8_large_300_train_300
Original Image: P05929.jpg
GT: pliers
pliers Detection preview by Box_v11_medium_train_SIXray_OPIXray No objects detected Detection preview by DN_Medium_300_yolov8m_20t7_new No objects detected Detection preview by Segmentatation_v8_medium_train_250 No objects detected Detection preview by Segmentation_V11_large_300_train_300 No objects detected Detection preview by Segmentation_v8_large_300_train_300
Original Image: P05930.jpg
GT: pliers
pliers Detection preview by Box_v11_medium_train_SIXray_OPIXray No objects detected Detection preview by DN_Medium_300_yolov8m_20t7_new No objects detected Detection preview by Segmentatation_v8_medium_train_250 No objects detected Detection preview by Segmentation_V11_large_300_train_300 No objects detected Detection preview by Segmentation_v8_large_300_train_300
Original Image: P05931.jpg
GT: pliers
pliers Detection preview by Box_v11_medium_train_SIXray_OPIXray No objects detected Detection preview by DN_Medium_300_yolov8m_20t7_new No objects detected Detection preview by Segmentatation_v8_medium_train_250 No objects detected Detection preview by Segmentation_V11_large_300_train_300 No objects detected Detection preview by Segmentation_v8_large_300_train_300
Original Image: P05932.jpg
GT: pliers
pliers Detection preview by Box_v11_medium_train_SIXray_OPIXray No objects detected Detection preview by DN_Medium_300_yolov8m_20t7_new No objects detected Detection preview by Segmentatation_v8_medium_train_250 No objects detected Detection preview by Segmentation_V11_large_300_train_300 No objects detected Detection preview by Segmentation_v8_large_300_train_300
Original Image: P05933.jpg
GT: pliers
pliers Detection preview by Box_v11_medium_train_SIXray_OPIXray No objects detected Detection preview by DN_Medium_300_yolov8m_20t7_new No objects detected Detection preview by Segmentatation_v8_medium_train_250 No objects detected Detection preview by Segmentation_V11_large_300_train_300 No objects detected Detection preview by Segmentation_v8_large_300_train_300
Original Image: P05934.jpg
GT: pliers
pliers Detection preview by Box_v11_medium_train_SIXray_OPIXray No objects detected Detection preview by DN_Medium_300_yolov8m_20t7_new No objects detected Detection preview by Segmentatation_v8_medium_train_250 No objects detected Detection preview by Segmentation_V11_large_300_train_300 No objects detected Detection preview by Segmentation_v8_large_300_train_300
Original Image: P05935.jpg
GT: pliers
pliers Detection preview by Box_v11_medium_train_SIXray_OPIXray No objects detected Detection preview by DN_Medium_300_yolov8m_20t7_new No objects detected Detection preview by Segmentatation_v8_medium_train_250 No objects detected Detection preview by Segmentation_V11_large_300_train_300 No objects detected Detection preview by Segmentation_v8_large_300_train_300
Original Image: P05936.jpg
GT: pliers
pliers Detection preview by Box_v11_medium_train_SIXray_OPIXray No objects detected Detection preview by DN_Medium_300_yolov8m_20t7_new No objects detected Detection preview by Segmentatation_v8_medium_train_250 No objects detected Detection preview by Segmentation_V11_large_300_train_300 No objects detected Detection preview by Segmentation_v8_large_300_train_300
Original Image: P05937.jpg
GT: pliers
pliers Detection preview by Box_v11_medium_train_SIXray_OPIXray pliers Detection preview by DN_Medium_300_yolov8m_20t7_new scissor Detection preview by Segmentatation_v8_medium_train_250 scissor Detection preview by Segmentation_V11_large_300_train_300 scissor Detection preview by Segmentation_v8_large_300_train_300
Original Image: P05938.jpg
GT: pliers
pliers Detection preview by Box_v11_medium_train_SIXray_OPIXray No objects detected Detection preview by DN_Medium_300_yolov8m_20t7_new No objects detected Detection preview by Segmentatation_v8_medium_train_250 No objects detected Detection preview by Segmentation_V11_large_300_train_300 No objects detected Detection preview by Segmentation_v8_large_300_train_300
Original Image: P05939.jpg
GT: pliers, wrench
pliers, wrench Detection preview by Box_v11_medium_train_SIXray_OPIXray No objects detected Detection preview by DN_Medium_300_yolov8m_20t7_new wrench Detection preview by Segmentatation_v8_medium_train_250 wrench Detection preview by Segmentation_V11_large_300_train_300 wrench Detection preview by Segmentation_v8_large_300_train_300
Original Image: P05940.jpg
GT: pliers, wrench
pliers, wrench Detection preview by Box_v11_medium_train_SIXray_OPIXray No objects detected Detection preview by DN_Medium_300_yolov8m_20t7_new wrench Detection preview by Segmentatation_v8_medium_train_250 wrench Detection preview by Segmentation_V11_large_300_train_300 wrench Detection preview by Segmentation_v8_large_300_train_300
Original Image: P05941.jpg
GT: pliers
pliers Detection preview by Box_v11_medium_train_SIXray_OPIXray No objects detected Detection preview by DN_Medium_300_yolov8m_20t7_new No objects detected Detection preview by Segmentatation_v8_medium_train_250 No objects detected Detection preview by Segmentation_V11_large_300_train_300 No objects detected Detection preview by Segmentation_v8_large_300_train_300
Original Image: P05942.jpg
GT: pliers
pliers Detection preview by Box_v11_medium_train_SIXray_OPIXray No objects detected Detection preview by DN_Medium_300_yolov8m_20t7_new No objects detected Detection preview by Segmentatation_v8_medium_train_250 No objects detected Detection preview by Segmentation_V11_large_300_train_300 No objects detected Detection preview by Segmentation_v8_large_300_train_300
Original Image: P05943.jpg
GT: pliers
pliers Detection preview by Box_v11_medium_train_SIXray_OPIXray No objects detected Detection preview by DN_Medium_300_yolov8m_20t7_new No objects detected Detection preview by Segmentatation_v8_medium_train_250 No objects detected Detection preview by Segmentation_V11_large_300_train_300 No objects detected Detection preview by Segmentation_v8_large_300_train_300
Original Image: P05944.jpg
GT: pliers
pliers Detection preview by Box_v11_medium_train_SIXray_OPIXray No objects detected Detection preview by DN_Medium_300_yolov8m_20t7_new No objects detected Detection preview by Segmentatation_v8_medium_train_250 No objects detected Detection preview by Segmentation_V11_large_300_train_300 No objects detected Detection preview by Segmentation_v8_large_300_train_300
Original Image: P05945.jpg
GT: pliers
pliers Detection preview by Box_v11_medium_train_SIXray_OPIXray pliers Detection preview by DN_Medium_300_yolov8m_20t7_new No objects detected Detection preview by Segmentatation_v8_medium_train_250 No objects detected Detection preview by Segmentation_V11_large_300_train_300 No objects detected Detection preview by Segmentation_v8_large_300_train_300
Original Image: P05946.jpg
GT: pliers
pliers Detection preview by Box_v11_medium_train_SIXray_OPIXray pliers Detection preview by DN_Medium_300_yolov8m_20t7_new No objects detected Detection preview by Segmentatation_v8_medium_train_250 No objects detected Detection preview by Segmentation_V11_large_300_train_300 No objects detected Detection preview by Segmentation_v8_large_300_train_300
Original Image: P05947.jpg
GT: pliers
pliers Detection preview by Box_v11_medium_train_SIXray_OPIXray No objects detected Detection preview by DN_Medium_300_yolov8m_20t7_new No objects detected Detection preview by Segmentatation_v8_medium_train_250 No objects detected Detection preview by Segmentation_V11_large_300_train_300 No objects detected Detection preview by Segmentation_v8_large_300_train_300
Original Image: P05948.jpg
GT: pliers
pliers Detection preview by Box_v11_medium_train_SIXray_OPIXray No objects detected Detection preview by DN_Medium_300_yolov8m_20t7_new No objects detected Detection preview by Segmentatation_v8_medium_train_250 No objects detected Detection preview by Segmentation_V11_large_300_train_300 No objects detected Detection preview by Segmentation_v8_large_300_train_300
Original Image: P05949.jpg
GT: pliers
pliers Detection preview by Box_v11_medium_train_SIXray_OPIXray No objects detected Detection preview by DN_Medium_300_yolov8m_20t7_new No objects detected Detection preview by Segmentatation_v8_medium_train_250 No objects detected Detection preview by Segmentation_V11_large_300_train_300 No objects detected Detection preview by Segmentation_v8_large_300_train_300
Original Image: P05950.jpg
GT: pliers
pliers Detection preview by Box_v11_medium_train_SIXray_OPIXray No objects detected Detection preview by DN_Medium_300_yolov8m_20t7_new No objects detected Detection preview by Segmentatation_v8_medium_train_250 No objects detected Detection preview by Segmentation_V11_large_300_train_300 No objects detected Detection preview by Segmentation_v8_large_300_train_300
Original Image: P05951.jpg
GT: pliers
pliers Detection preview by Box_v11_medium_train_SIXray_OPIXray No objects detected Detection preview by DN_Medium_300_yolov8m_20t7_new No objects detected Detection preview by Segmentatation_v8_medium_train_250 No objects detected Detection preview by Segmentation_V11_large_300_train_300 No objects detected Detection preview by Segmentation_v8_large_300_train_300
Original Image: P05952.jpg
GT: pliers
pliers Detection preview by Box_v11_medium_train_SIXray_OPIXray No objects detected Detection preview by DN_Medium_300_yolov8m_20t7_new No objects detected Detection preview by Segmentatation_v8_medium_train_250 No objects detected Detection preview by Segmentation_V11_large_300_train_300 No objects detected Detection preview by Segmentation_v8_large_300_train_300
Original Image: P05953.jpg
GT: pliers
pliers Detection preview by Box_v11_medium_train_SIXray_OPIXray No objects detected Detection preview by DN_Medium_300_yolov8m_20t7_new No objects detected Detection preview by Segmentatation_v8_medium_train_250 No objects detected Detection preview by Segmentation_V11_large_300_train_300 No objects detected Detection preview by Segmentation_v8_large_300_train_300
Original Image: P05954.jpg
GT: pliers
pliers Detection preview by Box_v11_medium_train_SIXray_OPIXray No objects detected Detection preview by DN_Medium_300_yolov8m_20t7_new No objects detected Detection preview by Segmentatation_v8_medium_train_250 No objects detected Detection preview by Segmentation_V11_large_300_train_300 No objects detected Detection preview by Segmentation_v8_large_300_train_300
Original Image: P05955.jpg
GT: pliers
pliers Detection preview by Box_v11_medium_train_SIXray_OPIXray No objects detected Detection preview by DN_Medium_300_yolov8m_20t7_new No objects detected Detection preview by Segmentatation_v8_medium_train_250 No objects detected Detection preview by Segmentation_V11_large_300_train_300 No objects detected Detection preview by Segmentation_v8_large_300_train_300
Original Image: P05956.jpg
GT: pliers
pliers Detection preview by Box_v11_medium_train_SIXray_OPIXray No objects detected Detection preview by DN_Medium_300_yolov8m_20t7_new No objects detected Detection preview by Segmentatation_v8_medium_train_250 No objects detected Detection preview by Segmentation_V11_large_300_train_300 No objects detected Detection preview by Segmentation_v8_large_300_train_300
Original Image: P05957.jpg
GT: pliers
pliers Detection preview by Box_v11_medium_train_SIXray_OPIXray pliers Detection preview by DN_Medium_300_yolov8m_20t7_new No objects detected Detection preview by Segmentatation_v8_medium_train_250 No objects detected Detection preview by Segmentation_V11_large_300_train_300 No objects detected Detection preview by Segmentation_v8_large_300_train_300
Original Image: P05958.jpg
GT: pliers
pliers Detection preview by Box_v11_medium_train_SIXray_OPIXray No objects detected Detection preview by DN_Medium_300_yolov8m_20t7_new No objects detected Detection preview by Segmentatation_v8_medium_train_250 No objects detected Detection preview by Segmentation_V11_large_300_train_300 No objects detected Detection preview by Segmentation_v8_large_300_train_300
Original Image: P05959.jpg
GT: pliers
pliers Detection preview by Box_v11_medium_train_SIXray_OPIXray No objects detected Detection preview by DN_Medium_300_yolov8m_20t7_new No objects detected Detection preview by Segmentatation_v8_medium_train_250 No objects detected Detection preview by Segmentation_V11_large_300_train_300 No objects detected Detection preview by Segmentation_v8_large_300_train_300
Original Image: P05960.jpg
GT: pliers
pliers Detection preview by Box_v11_medium_train_SIXray_OPIXray No objects detected Detection preview by DN_Medium_300_yolov8m_20t7_new No objects detected Detection preview by Segmentatation_v8_medium_train_250 No objects detected Detection preview by Segmentation_V11_large_300_train_300 No objects detected Detection preview by Segmentation_v8_large_300_train_300
Original Image: P05961.jpg
GT: pliers, scissors
pliers, scissor Detection preview by Box_v11_medium_train_SIXray_OPIXray No objects detected Detection preview by DN_Medium_300_yolov8m_20t7_new scissor Detection preview by Segmentatation_v8_medium_train_250 scissor Detection preview by Segmentation_V11_large_300_train_300 scissor Detection preview by Segmentation_v8_large_300_train_300
Original Image: P05962.jpg
GT: pliers, scissors
pliers, scissor Detection preview by Box_v11_medium_train_SIXray_OPIXray scissor Detection preview by DN_Medium_300_yolov8m_20t7_new scissor Detection preview by Segmentatation_v8_medium_train_250 scissor Detection preview by Segmentation_V11_large_300_train_300 scissor Detection preview by Segmentation_v8_large_300_train_300
Original Image: P05963.jpg
GT: knife, wrench
knife, wrench Detection preview by Box_v11_medium_train_SIXray_OPIXray No objects detected Detection preview by DN_Medium_300_yolov8m_20t7_new knife, wrench Detection preview by Segmentatation_v8_medium_train_250 knife, wrench Detection preview by Segmentation_V11_large_300_train_300 knife, wrench Detection preview by Segmentation_v8_large_300_train_300
Original Image: P05964.jpg
GT: knife, wrench
knife, wrench Detection preview by Box_v11_medium_train_SIXray_OPIXray No objects detected Detection preview by DN_Medium_300_yolov8m_20t7_new knife, wrench Detection preview by Segmentatation_v8_medium_train_250 knife, wrench Detection preview by Segmentation_V11_large_300_train_300 knife, wrench Detection preview by Segmentation_v8_large_300_train_300
Original Image: P05965.jpg
GT: knife, wrench
knife, wrench Detection preview by Box_v11_medium_train_SIXray_OPIXray No objects detected Detection preview by DN_Medium_300_yolov8m_20t7_new knife, wrench Detection preview by Segmentatation_v8_medium_train_250 knife, wrench Detection preview by Segmentation_V11_large_300_train_300 knife, wrench Detection preview by Segmentation_v8_large_300_train_300
Original Image: P05966.jpg
GT: pliers
pliers Detection preview by Box_v11_medium_train_SIXray_OPIXray No objects detected Detection preview by DN_Medium_300_yolov8m_20t7_new No objects detected Detection preview by Segmentatation_v8_medium_train_250 No objects detected Detection preview by Segmentation_V11_large_300_train_300 No objects detected Detection preview by Segmentation_v8_large_300_train_300
Original Image: P05967.jpg
GT: pliers
pliers Detection preview by Box_v11_medium_train_SIXray_OPIXray No objects detected Detection preview by DN_Medium_300_yolov8m_20t7_new No objects detected Detection preview by Segmentatation_v8_medium_train_250 No objects detected Detection preview by Segmentation_V11_large_300_train_300 No objects detected Detection preview by Segmentation_v8_large_300_train_300
Original Image: P05968.jpg
GT: pliers
pliers Detection preview by Box_v11_medium_train_SIXray_OPIXray No objects detected Detection preview by DN_Medium_300_yolov8m_20t7_new No objects detected Detection preview by Segmentatation_v8_medium_train_250 No objects detected Detection preview by Segmentation_V11_large_300_train_300 No objects detected Detection preview by Segmentation_v8_large_300_train_300
Original Image: P05969.jpg
GT: pliers
pliers Detection preview by Box_v11_medium_train_SIXray_OPIXray No objects detected Detection preview by DN_Medium_300_yolov8m_20t7_new No objects detected Detection preview by Segmentatation_v8_medium_train_250 No objects detected Detection preview by Segmentation_V11_large_300_train_300 No objects detected Detection preview by Segmentation_v8_large_300_train_300
Original Image: P05970.jpg
GT: wrench
wrench Detection preview by Box_v11_medium_train_SIXray_OPIXray No objects detected Detection preview by DN_Medium_300_yolov8m_20t7_new No objects detected Detection preview by Segmentatation_v8_medium_train_250 wrench Detection preview by Segmentation_V11_large_300_train_300 wrench Detection preview by Segmentation_v8_large_300_train_300
Original Image: P05971.jpg
GT: wrench
wrench Detection preview by Box_v11_medium_train_SIXray_OPIXray No objects detected Detection preview by DN_Medium_300_yolov8m_20t7_new wrench Detection preview by Segmentatation_v8_medium_train_250 No objects detected Detection preview by Segmentation_V11_large_300_train_300 wrench Detection preview by Segmentation_v8_large_300_train_300
Original Image: P05972.jpg
GT: pliers
pliers Detection preview by Box_v11_medium_train_SIXray_OPIXray No objects detected Detection preview by DN_Medium_300_yolov8m_20t7_new No objects detected Detection preview by Segmentatation_v8_medium_train_250 No objects detected Detection preview by Segmentation_V11_large_300_train_300 No objects detected Detection preview by Segmentation_v8_large_300_train_300
Original Image: P05973.jpg
GT: pliers
pliers Detection preview by Box_v11_medium_train_SIXray_OPIXray No objects detected Detection preview by DN_Medium_300_yolov8m_20t7_new No objects detected Detection preview by Segmentatation_v8_medium_train_250 No objects detected Detection preview by Segmentation_V11_large_300_train_300 No objects detected Detection preview by Segmentation_v8_large_300_train_300
Original Image: P05974.jpg
GT: pliers
pliers Detection preview by Box_v11_medium_train_SIXray_OPIXray No objects detected Detection preview by DN_Medium_300_yolov8m_20t7_new No objects detected Detection preview by Segmentatation_v8_medium_train_250 No objects detected Detection preview by Segmentation_V11_large_300_train_300 No objects detected Detection preview by Segmentation_v8_large_300_train_300
Original Image: P05975.jpg
GT: pliers
pliers Detection preview by Box_v11_medium_train_SIXray_OPIXray No objects detected Detection preview by DN_Medium_300_yolov8m_20t7_new No objects detected Detection preview by Segmentatation_v8_medium_train_250 No objects detected Detection preview by Segmentation_V11_large_300_train_300 No objects detected Detection preview by Segmentation_v8_large_300_train_300
Original Image: P05976.jpg
GT: pliers
pliers Detection preview by Box_v11_medium_train_SIXray_OPIXray No objects detected Detection preview by DN_Medium_300_yolov8m_20t7_new No objects detected Detection preview by Segmentatation_v8_medium_train_250 No objects detected Detection preview by Segmentation_V11_large_300_train_300 No objects detected Detection preview by Segmentation_v8_large_300_train_300
Original Image: P05977.jpg
GT: pliers, wrench
pliers, wrench Detection preview by Box_v11_medium_train_SIXray_OPIXray pliers Detection preview by DN_Medium_300_yolov8m_20t7_new wrench Detection preview by Segmentatation_v8_medium_train_250 wrench Detection preview by Segmentation_V11_large_300_train_300 wrench Detection preview by Segmentation_v8_large_300_train_300
Original Image: P05978.jpg
GT: pliers, wrench
pliers, wrench Detection preview by Box_v11_medium_train_SIXray_OPIXray pliers Detection preview by DN_Medium_300_yolov8m_20t7_new wrench Detection preview by Segmentatation_v8_medium_train_250 wrench Detection preview by Segmentation_V11_large_300_train_300 wrench Detection preview by Segmentation_v8_large_300_train_300
Original Image: P05979.jpg
GT: pliers, wrench
pliers, wrench Detection preview by Box_v11_medium_train_SIXray_OPIXray pliers Detection preview by DN_Medium_300_yolov8m_20t7_new wrench Detection preview by Segmentatation_v8_medium_train_250 wrench Detection preview by Segmentation_V11_large_300_train_300 wrench Detection preview by Segmentation_v8_large_300_train_300
Original Image: P05980.jpg
GT: scissors
scissor Detection preview by Box_v11_medium_train_SIXray_OPIXray No objects detected Detection preview by DN_Medium_300_yolov8m_20t7_new scissor Detection preview by Segmentatation_v8_medium_train_250 scissor Detection preview by Segmentation_V11_large_300_train_300 scissor Detection preview by Segmentation_v8_large_300_train_300
Original Image: P05981.jpg
GT: pliers
pliers Detection preview by Box_v11_medium_train_SIXray_OPIXray No objects detected Detection preview by DN_Medium_300_yolov8m_20t7_new No objects detected Detection preview by Segmentatation_v8_medium_train_250 No objects detected Detection preview by Segmentation_V11_large_300_train_300 No objects detected Detection preview by Segmentation_v8_large_300_train_300
Original Image: P05982.jpg
GT: pliers
pliers Detection preview by Box_v11_medium_train_SIXray_OPIXray No objects detected Detection preview by DN_Medium_300_yolov8m_20t7_new No objects detected Detection preview by Segmentatation_v8_medium_train_250 No objects detected Detection preview by Segmentation_V11_large_300_train_300 No objects detected Detection preview by Segmentation_v8_large_300_train_300
Original Image: P05983.jpg
GT: pliers
pliers Detection preview by Box_v11_medium_train_SIXray_OPIXray No objects detected Detection preview by DN_Medium_300_yolov8m_20t7_new No objects detected Detection preview by Segmentatation_v8_medium_train_250 No objects detected Detection preview by Segmentation_V11_large_300_train_300 No objects detected Detection preview by Segmentation_v8_large_300_train_300
Original Image: P05984.jpg
GT: pliers
pliers Detection preview by Box_v11_medium_train_SIXray_OPIXray No objects detected Detection preview by DN_Medium_300_yolov8m_20t7_new No objects detected Detection preview by Segmentatation_v8_medium_train_250 No objects detected Detection preview by Segmentation_V11_large_300_train_300 No objects detected Detection preview by Segmentation_v8_large_300_train_300
Original Image: P05985.jpg
GT: pliers
pliers Detection preview by Box_v11_medium_train_SIXray_OPIXray No objects detected Detection preview by DN_Medium_300_yolov8m_20t7_new No objects detected Detection preview by Segmentatation_v8_medium_train_250 No objects detected Detection preview by Segmentation_V11_large_300_train_300 No objects detected Detection preview by Segmentation_v8_large_300_train_300
Original Image: P05986.jpg
GT: pliers
pliers Detection preview by Box_v11_medium_train_SIXray_OPIXray No objects detected Detection preview by DN_Medium_300_yolov8m_20t7_new No objects detected Detection preview by Segmentatation_v8_medium_train_250 No objects detected Detection preview by Segmentation_V11_large_300_train_300 No objects detected Detection preview by Segmentation_v8_large_300_train_300
Original Image: P05987.jpg
GT: pliers, wrench
pliers, wrench Detection preview by Box_v11_medium_train_SIXray_OPIXray No objects detected Detection preview by DN_Medium_300_yolov8m_20t7_new wrench Detection preview by Segmentatation_v8_medium_train_250 wrench Detection preview by Segmentation_V11_large_300_train_300 wrench Detection preview by Segmentation_v8_large_300_train_300
Original Image: P05988.jpg
GT: knife
knife Detection preview by Box_v11_medium_train_SIXray_OPIXray No objects detected Detection preview by DN_Medium_300_yolov8m_20t7_new No objects detected Detection preview by Segmentatation_v8_medium_train_250 No objects detected Detection preview by Segmentation_V11_large_300_train_300 No objects detected Detection preview by Segmentation_v8_large_300_train_300
Original Image: P05989.jpg
GT: knife
knife Detection preview by Box_v11_medium_train_SIXray_OPIXray No objects detected Detection preview by DN_Medium_300_yolov8m_20t7_new scissor Detection preview by Segmentatation_v8_medium_train_250 scissor Detection preview by Segmentation_V11_large_300_train_300 scissor Detection preview by Segmentation_v8_large_300_train_300
Original Image: P05990.jpg
GT: pliers
pliers Detection preview by Box_v11_medium_train_SIXray_OPIXray No objects detected Detection preview by DN_Medium_300_yolov8m_20t7_new No objects detected Detection preview by Segmentatation_v8_medium_train_250 No objects detected Detection preview by Segmentation_V11_large_300_train_300 No objects detected Detection preview by Segmentation_v8_large_300_train_300
Original Image: P05991.jpg
GT: pliers
pliers Detection preview by Box_v11_medium_train_SIXray_OPIXray No objects detected Detection preview by DN_Medium_300_yolov8m_20t7_new No objects detected Detection preview by Segmentatation_v8_medium_train_250 No objects detected Detection preview by Segmentation_V11_large_300_train_300 No objects detected Detection preview by Segmentation_v8_large_300_train_300
Original Image: P05992.jpg
GT: pliers
pliers Detection preview by Box_v11_medium_train_SIXray_OPIXray No objects detected Detection preview by DN_Medium_300_yolov8m_20t7_new No objects detected Detection preview by Segmentatation_v8_medium_train_250 No objects detected Detection preview by Segmentation_V11_large_300_train_300 No objects detected Detection preview by Segmentation_v8_large_300_train_300
Original Image: P05993.jpg
GT: pliers
pliers Detection preview by Box_v11_medium_train_SIXray_OPIXray No objects detected Detection preview by DN_Medium_300_yolov8m_20t7_new No objects detected Detection preview by Segmentatation_v8_medium_train_250 No objects detected Detection preview by Segmentation_V11_large_300_train_300 No objects detected Detection preview by Segmentation_v8_large_300_train_300
Original Image: P05994.jpg
GT: pliers
pliers Detection preview by Box_v11_medium_train_SIXray_OPIXray pliers Detection preview by DN_Medium_300_yolov8m_20t7_new No objects detected Detection preview by Segmentatation_v8_medium_train_250 No objects detected Detection preview by Segmentation_V11_large_300_train_300 No objects detected Detection preview by Segmentation_v8_large_300_train_300
Original Image: P05995.jpg
GT: pliers
pliers Detection preview by Box_v11_medium_train_SIXray_OPIXray pliers Detection preview by DN_Medium_300_yolov8m_20t7_new No objects detected Detection preview by Segmentatation_v8_medium_train_250 No objects detected Detection preview by Segmentation_V11_large_300_train_300 No objects detected Detection preview by Segmentation_v8_large_300_train_300
Original Image: P05996.jpg
GT: pliers
pliers Detection preview by Box_v11_medium_train_SIXray_OPIXray No objects detected Detection preview by DN_Medium_300_yolov8m_20t7_new No objects detected Detection preview by Segmentatation_v8_medium_train_250 No objects detected Detection preview by Segmentation_V11_large_300_train_300 No objects detected Detection preview by Segmentation_v8_large_300_train_300
Original Image: P05997.jpg
GT: pliers
pliers Detection preview by Box_v11_medium_train_SIXray_OPIXray No objects detected Detection preview by DN_Medium_300_yolov8m_20t7_new No objects detected Detection preview by Segmentatation_v8_medium_train_250 No objects detected Detection preview by Segmentation_V11_large_300_train_300 No objects detected Detection preview by Segmentation_v8_large_300_train_300
Original Image: P05998.jpg
GT: pliers
pliers Detection preview by Box_v11_medium_train_SIXray_OPIXray No objects detected Detection preview by DN_Medium_300_yolov8m_20t7_new No objects detected Detection preview by Segmentatation_v8_medium_train_250 No objects detected Detection preview by Segmentation_V11_large_300_train_300 No objects detected Detection preview by Segmentation_v8_large_300_train_300
Original Image: P05999.jpg
GT: pliers
pliers Detection preview by Box_v11_medium_train_SIXray_OPIXray No objects detected Detection preview by DN_Medium_300_yolov8m_20t7_new No objects detected Detection preview by Segmentatation_v8_medium_train_250 No objects detected Detection preview by Segmentation_V11_large_300_train_300 No objects detected Detection preview by Segmentation_v8_large_300_train_300
Original Image: P06000.jpg
GT: pliers, wrench
pliers, wrench Detection preview by Box_v11_medium_train_SIXray_OPIXray No objects detected Detection preview by DN_Medium_300_yolov8m_20t7_new wrench Detection preview by Segmentatation_v8_medium_train_250 wrench Detection preview by Segmentation_V11_large_300_train_300 wrench Detection preview by Segmentation_v8_large_300_train_300
Original Image: P06001.jpg
GT: pliers, wrench
pliers, wrench Detection preview by Box_v11_medium_train_SIXray_OPIXray No objects detected Detection preview by DN_Medium_300_yolov8m_20t7_new wrench Detection preview by Segmentatation_v8_medium_train_250 wrench Detection preview by Segmentation_V11_large_300_train_300 wrench Detection preview by Segmentation_v8_large_300_train_300
Original Image: P06002.jpg
GT: pliers, wrench
pliers, wrench Detection preview by Box_v11_medium_train_SIXray_OPIXray No objects detected Detection preview by DN_Medium_300_yolov8m_20t7_new wrench Detection preview by Segmentatation_v8_medium_train_250 wrench Detection preview by Segmentation_V11_large_300_train_300 wrench Detection preview by Segmentation_v8_large_300_train_300
Original Image: P06003.jpg
GT: pliers
pliers Detection preview by Box_v11_medium_train_SIXray_OPIXray No objects detected Detection preview by DN_Medium_300_yolov8m_20t7_new No objects detected Detection preview by Segmentatation_v8_medium_train_250 No objects detected Detection preview by Segmentation_V11_large_300_train_300 No objects detected Detection preview by Segmentation_v8_large_300_train_300
Original Image: P06004.jpg
GT: pliers
pliers Detection preview by Box_v11_medium_train_SIXray_OPIXray No objects detected Detection preview by DN_Medium_300_yolov8m_20t7_new No objects detected Detection preview by Segmentatation_v8_medium_train_250 No objects detected Detection preview by Segmentation_V11_large_300_train_300 No objects detected Detection preview by Segmentation_v8_large_300_train_300
Original Image: P06005.jpg
GT: pliers
pliers Detection preview by Box_v11_medium_train_SIXray_OPIXray No objects detected Detection preview by DN_Medium_300_yolov8m_20t7_new No objects detected Detection preview by Segmentatation_v8_medium_train_250 No objects detected Detection preview by Segmentation_V11_large_300_train_300 No objects detected Detection preview by Segmentation_v8_large_300_train_300
Original Image: P06006.jpg
GT: pliers
pliers Detection preview by Box_v11_medium_train_SIXray_OPIXray No objects detected Detection preview by DN_Medium_300_yolov8m_20t7_new No objects detected Detection preview by Segmentatation_v8_medium_train_250 No objects detected Detection preview by Segmentation_V11_large_300_train_300 No objects detected Detection preview by Segmentation_v8_large_300_train_300
Original Image: P06007.jpg
GT: pliers
pliers Detection preview by Box_v11_medium_train_SIXray_OPIXray No objects detected Detection preview by DN_Medium_300_yolov8m_20t7_new No objects detected Detection preview by Segmentatation_v8_medium_train_250 No objects detected Detection preview by Segmentation_V11_large_300_train_300 No objects detected Detection preview by Segmentation_v8_large_300_train_300
Original Image: P06008.jpg
GT: pliers
pliers Detection preview by Box_v11_medium_train_SIXray_OPIXray No objects detected Detection preview by DN_Medium_300_yolov8m_20t7_new No objects detected Detection preview by Segmentatation_v8_medium_train_250 No objects detected Detection preview by Segmentation_V11_large_300_train_300 No objects detected Detection preview by Segmentation_v8_large_300_train_300
Original Image: P06009.jpg
GT: scissors
scissor Detection preview by Box_v11_medium_train_SIXray_OPIXray scissor Detection preview by DN_Medium_300_yolov8m_20t7_new scissor Detection preview by Segmentatation_v8_medium_train_250 scissor Detection preview by Segmentation_V11_large_300_train_300 scissor Detection preview by Segmentation_v8_large_300_train_300
Original Image: P06010.jpg
GT: scissors
scissor Detection preview by Box_v11_medium_train_SIXray_OPIXray No objects detected Detection preview by DN_Medium_300_yolov8m_20t7_new scissor Detection preview by Segmentatation_v8_medium_train_250 scissor Detection preview by Segmentation_V11_large_300_train_300 scissor Detection preview by Segmentation_v8_large_300_train_300
Original Image: P06011.jpg
GT: pliers
pliers Detection preview by Box_v11_medium_train_SIXray_OPIXray No objects detected Detection preview by DN_Medium_300_yolov8m_20t7_new No objects detected Detection preview by Segmentatation_v8_medium_train_250 No objects detected Detection preview by Segmentation_V11_large_300_train_300 No objects detected Detection preview by Segmentation_v8_large_300_train_300
Original Image: P06012.jpg
GT: pliers, wrench
pliers, wrench Detection preview by Box_v11_medium_train_SIXray_OPIXray No objects detected Detection preview by DN_Medium_300_yolov8m_20t7_new wrench Detection preview by Segmentatation_v8_medium_train_250 wrench Detection preview by Segmentation_V11_large_300_train_300 wrench Detection preview by Segmentation_v8_large_300_train_300
Original Image: P06013.jpg
GT: pliers, wrench
pliers, wrench Detection preview by Box_v11_medium_train_SIXray_OPIXray No objects detected Detection preview by DN_Medium_300_yolov8m_20t7_new wrench Detection preview by Segmentatation_v8_medium_train_250 wrench Detection preview by Segmentation_V11_large_300_train_300 wrench Detection preview by Segmentation_v8_large_300_train_300
Original Image: P06014.jpg
GT: pliers
pliers Detection preview by Box_v11_medium_train_SIXray_OPIXray No objects detected Detection preview by DN_Medium_300_yolov8m_20t7_new No objects detected Detection preview by Segmentatation_v8_medium_train_250 No objects detected Detection preview by Segmentation_V11_large_300_train_300 No objects detected Detection preview by Segmentation_v8_large_300_train_300
Original Image: P06015.jpg
GT: pliers
pliers Detection preview by Box_v11_medium_train_SIXray_OPIXray No objects detected Detection preview by DN_Medium_300_yolov8m_20t7_new No objects detected Detection preview by Segmentatation_v8_medium_train_250 No objects detected Detection preview by Segmentation_V11_large_300_train_300 No objects detected Detection preview by Segmentation_v8_large_300_train_300
Original Image: P06016.jpg
GT: pliers, wrench
pliers, wrench Detection preview by Box_v11_medium_train_SIXray_OPIXray No objects detected Detection preview by DN_Medium_300_yolov8m_20t7_new No objects detected Detection preview by Segmentatation_v8_medium_train_250 No objects detected Detection preview by Segmentation_V11_large_300_train_300 No objects detected Detection preview by Segmentation_v8_large_300_train_300
Original Image: P06017.jpg
GT: pliers, wrench
pliers, wrench Detection preview by Box_v11_medium_train_SIXray_OPIXray No objects detected Detection preview by DN_Medium_300_yolov8m_20t7_new No objects detected Detection preview by Segmentatation_v8_medium_train_250 No objects detected Detection preview by Segmentation_V11_large_300_train_300 No objects detected Detection preview by Segmentation_v8_large_300_train_300
Original Image: P06018.jpg
GT: pliers, wrench
pliers, wrench Detection preview by Box_v11_medium_train_SIXray_OPIXray No objects detected Detection preview by DN_Medium_300_yolov8m_20t7_new wrench Detection preview by Segmentatation_v8_medium_train_250 wrench Detection preview by Segmentation_V11_large_300_train_300 wrench Detection preview by Segmentation_v8_large_300_train_300
Original Image: P06019.jpg
GT: pliers, wrench
pliers, wrench Detection preview by Box_v11_medium_train_SIXray_OPIXray No objects detected Detection preview by DN_Medium_300_yolov8m_20t7_new wrench Detection preview by Segmentatation_v8_medium_train_250 wrench Detection preview by Segmentation_V11_large_300_train_300 wrench Detection preview by Segmentation_v8_large_300_train_300
Original Image: P06020.jpg
GT: pliers, wrench
pliers, wrench Detection preview by Box_v11_medium_train_SIXray_OPIXray pliers Detection preview by DN_Medium_300_yolov8m_20t7_new wrench Detection preview by Segmentatation_v8_medium_train_250 wrench Detection preview by Segmentation_V11_large_300_train_300 wrench Detection preview by Segmentation_v8_large_300_train_300
Original Image: P06021.jpg
GT: pliers, wrench
pliers, wrench Detection preview by Box_v11_medium_train_SIXray_OPIXray No objects detected Detection preview by DN_Medium_300_yolov8m_20t7_new wrench Detection preview by Segmentatation_v8_medium_train_250 wrench Detection preview by Segmentation_V11_large_300_train_300 wrench Detection preview by Segmentation_v8_large_300_train_300
Original Image: P06022.jpg
GT: wrench
wrench Detection preview by Box_v11_medium_train_SIXray_OPIXray No objects detected Detection preview by DN_Medium_300_yolov8m_20t7_new knife, wrench Detection preview by Segmentatation_v8_medium_train_250 wrench Detection preview by Segmentation_V11_large_300_train_300 wrench Detection preview by Segmentation_v8_large_300_train_300
Original Image: P06023.jpg
GT: pliers
pliers Detection preview by Box_v11_medium_train_SIXray_OPIXray No objects detected Detection preview by DN_Medium_300_yolov8m_20t7_new No objects detected Detection preview by Segmentatation_v8_medium_train_250 No objects detected Detection preview by Segmentation_V11_large_300_train_300 No objects detected Detection preview by Segmentation_v8_large_300_train_300
Original Image: P06024.jpg
GT: pliers
pliers Detection preview by Box_v11_medium_train_SIXray_OPIXray No objects detected Detection preview by DN_Medium_300_yolov8m_20t7_new No objects detected Detection preview by Segmentatation_v8_medium_train_250 No objects detected Detection preview by Segmentation_V11_large_300_train_300 No objects detected Detection preview by Segmentation_v8_large_300_train_300
Original Image: P06025.jpg
GT: pliers
pliers Detection preview by Box_v11_medium_train_SIXray_OPIXray No objects detected Detection preview by DN_Medium_300_yolov8m_20t7_new No objects detected Detection preview by Segmentatation_v8_medium_train_250 No objects detected Detection preview by Segmentation_V11_large_300_train_300 No objects detected Detection preview by Segmentation_v8_large_300_train_300
Original Image: P06026.jpg
GT: pliers
pliers Detection preview by Box_v11_medium_train_SIXray_OPIXray No objects detected Detection preview by DN_Medium_300_yolov8m_20t7_new No objects detected Detection preview by Segmentatation_v8_medium_train_250 No objects detected Detection preview by Segmentation_V11_large_300_train_300 No objects detected Detection preview by Segmentation_v8_large_300_train_300
Original Image: P06027.jpg
GT: pliers, wrench
pliers, wrench Detection preview by Box_v11_medium_train_SIXray_OPIXray pliers Detection preview by DN_Medium_300_yolov8m_20t7_new wrench Detection preview by Segmentatation_v8_medium_train_250 wrench Detection preview by Segmentation_V11_large_300_train_300 wrench Detection preview by Segmentation_v8_large_300_train_300
Original Image: P06028.jpg
GT: knife
knife Detection preview by Box_v11_medium_train_SIXray_OPIXray No objects detected Detection preview by DN_Medium_300_yolov8m_20t7_new knife Detection preview by Segmentatation_v8_medium_train_250 knife Detection preview by Segmentation_V11_large_300_train_300 knife Detection preview by Segmentation_v8_large_300_train_300
Original Image: P06029.jpg
GT: pliers
pliers Detection preview by Box_v11_medium_train_SIXray_OPIXray No objects detected Detection preview by DN_Medium_300_yolov8m_20t7_new No objects detected Detection preview by Segmentatation_v8_medium_train_250 No objects detected Detection preview by Segmentation_V11_large_300_train_300 No objects detected Detection preview by Segmentation_v8_large_300_train_300
Original Image: P06030.jpg
GT: pliers
pliers Detection preview by Box_v11_medium_train_SIXray_OPIXray No objects detected Detection preview by DN_Medium_300_yolov8m_20t7_new No objects detected Detection preview by Segmentatation_v8_medium_train_250 No objects detected Detection preview by Segmentation_V11_large_300_train_300 No objects detected Detection preview by Segmentation_v8_large_300_train_300
Original Image: P06031.jpg
GT: pliers
pliers Detection preview by Box_v11_medium_train_SIXray_OPIXray No objects detected Detection preview by DN_Medium_300_yolov8m_20t7_new No objects detected Detection preview by Segmentatation_v8_medium_train_250 No objects detected Detection preview by Segmentation_V11_large_300_train_300 No objects detected Detection preview by Segmentation_v8_large_300_train_300
Original Image: P06032.jpg
GT: pliers
pliers Detection preview by Box_v11_medium_train_SIXray_OPIXray No objects detected Detection preview by DN_Medium_300_yolov8m_20t7_new No objects detected Detection preview by Segmentatation_v8_medium_train_250 No objects detected Detection preview by Segmentation_V11_large_300_train_300 No objects detected Detection preview by Segmentation_v8_large_300_train_300
Original Image: P06033.jpg
GT: scissors
scissor Detection preview by Box_v11_medium_train_SIXray_OPIXray No objects detected Detection preview by DN_Medium_300_yolov8m_20t7_new scissor Detection preview by Segmentatation_v8_medium_train_250 scissor Detection preview by Segmentation_V11_large_300_train_300 scissor Detection preview by Segmentation_v8_large_300_train_300
Original Image: P06034.jpg
GT: scissors
scissor Detection preview by Box_v11_medium_train_SIXray_OPIXray No objects detected Detection preview by DN_Medium_300_yolov8m_20t7_new scissor Detection preview by Segmentatation_v8_medium_train_250 scissor Detection preview by Segmentation_V11_large_300_train_300 scissor Detection preview by Segmentation_v8_large_300_train_300
Original Image: P06035.jpg
GT: pliers, wrench
pliers, wrench Detection preview by Box_v11_medium_train_SIXray_OPIXray No objects detected Detection preview by DN_Medium_300_yolov8m_20t7_new wrench Detection preview by Segmentatation_v8_medium_train_250 wrench Detection preview by Segmentation_V11_large_300_train_300 wrench Detection preview by Segmentation_v8_large_300_train_300
Original Image: P06036.jpg
GT: pliers, wrench
pliers, wrench Detection preview by Box_v11_medium_train_SIXray_OPIXray No objects detected Detection preview by DN_Medium_300_yolov8m_20t7_new wrench Detection preview by Segmentatation_v8_medium_train_250 wrench Detection preview by Segmentation_V11_large_300_train_300 wrench Detection preview by Segmentation_v8_large_300_train_300
Original Image: P06037.jpg
GT: pliers, wrench
pliers, wrench Detection preview by Box_v11_medium_train_SIXray_OPIXray No objects detected Detection preview by DN_Medium_300_yolov8m_20t7_new wrench Detection preview by Segmentatation_v8_medium_train_250 wrench Detection preview by Segmentation_V11_large_300_train_300 wrench Detection preview by Segmentation_v8_large_300_train_300
Original Image: P06038.jpg
GT: wrench
wrench Detection preview by Box_v11_medium_train_SIXray_OPIXray No objects detected Detection preview by DN_Medium_300_yolov8m_20t7_new wrench Detection preview by Segmentatation_v8_medium_train_250 wrench Detection preview by Segmentation_V11_large_300_train_300 wrench Detection preview by Segmentation_v8_large_300_train_300
Original Image: P06039.jpg
GT: pliers
pliers Detection preview by Box_v11_medium_train_SIXray_OPIXray pliers Detection preview by DN_Medium_300_yolov8m_20t7_new No objects detected Detection preview by Segmentatation_v8_medium_train_250 No objects detected Detection preview by Segmentation_V11_large_300_train_300 No objects detected Detection preview by Segmentation_v8_large_300_train_300
Original Image: P06040.jpg
GT: pliers
pliers Detection preview by Box_v11_medium_train_SIXray_OPIXray pliers Detection preview by DN_Medium_300_yolov8m_20t7_new No objects detected Detection preview by Segmentatation_v8_medium_train_250 No objects detected Detection preview by Segmentation_V11_large_300_train_300 No objects detected Detection preview by Segmentation_v8_large_300_train_300
Original Image: P06041.jpg
GT: pliers
pliers Detection preview by Box_v11_medium_train_SIXray_OPIXray No objects detected Detection preview by DN_Medium_300_yolov8m_20t7_new No objects detected Detection preview by Segmentatation_v8_medium_train_250 No objects detected Detection preview by Segmentation_V11_large_300_train_300 No objects detected Detection preview by Segmentation_v8_large_300_train_300
Original Image: P06042.jpg
GT: pliers
pliers Detection preview by Box_v11_medium_train_SIXray_OPIXray No objects detected Detection preview by DN_Medium_300_yolov8m_20t7_new No objects detected Detection preview by Segmentatation_v8_medium_train_250 No objects detected Detection preview by Segmentation_V11_large_300_train_300 No objects detected Detection preview by Segmentation_v8_large_300_train_300
Original Image: P06043.jpg
GT: pliers
pliers Detection preview by Box_v11_medium_train_SIXray_OPIXray No objects detected Detection preview by DN_Medium_300_yolov8m_20t7_new No objects detected Detection preview by Segmentatation_v8_medium_train_250 No objects detected Detection preview by Segmentation_V11_large_300_train_300 No objects detected Detection preview by Segmentation_v8_large_300_train_300
Original Image: P06044.jpg
GT: pliers
pliers Detection preview by Box_v11_medium_train_SIXray_OPIXray pliers Detection preview by DN_Medium_300_yolov8m_20t7_new No objects detected Detection preview by Segmentatation_v8_medium_train_250 No objects detected Detection preview by Segmentation_V11_large_300_train_300 No objects detected Detection preview by Segmentation_v8_large_300_train_300
Original Image: P06045.jpg
GT: pliers, wrench
pliers, wrench Detection preview by Box_v11_medium_train_SIXray_OPIXray pliers Detection preview by DN_Medium_300_yolov8m_20t7_new wrench Detection preview by Segmentatation_v8_medium_train_250 wrench Detection preview by Segmentation_V11_large_300_train_300 wrench Detection preview by Segmentation_v8_large_300_train_300
Original Image: P06046.jpg
GT: pliers, wrench
pliers, wrench Detection preview by Box_v11_medium_train_SIXray_OPIXray pliers Detection preview by DN_Medium_300_yolov8m_20t7_new wrench Detection preview by Segmentatation_v8_medium_train_250 wrench Detection preview by Segmentation_V11_large_300_train_300 wrench Detection preview by Segmentation_v8_large_300_train_300
Original Image: P06047.jpg
GT: pliers, wrench
pliers, wrench Detection preview by Box_v11_medium_train_SIXray_OPIXray pliers Detection preview by DN_Medium_300_yolov8m_20t7_new wrench Detection preview by Segmentatation_v8_medium_train_250 wrench Detection preview by Segmentation_V11_large_300_train_300 wrench Detection preview by Segmentation_v8_large_300_train_300
Original Image: P06048.jpg
GT: pliers
pliers Detection preview by Box_v11_medium_train_SIXray_OPIXray No objects detected Detection preview by DN_Medium_300_yolov8m_20t7_new No objects detected Detection preview by Segmentatation_v8_medium_train_250 No objects detected Detection preview by Segmentation_V11_large_300_train_300 No objects detected Detection preview by Segmentation_v8_large_300_train_300
Original Image: P06049.jpg
GT: pliers
pliers Detection preview by Box_v11_medium_train_SIXray_OPIXray No objects detected Detection preview by DN_Medium_300_yolov8m_20t7_new No objects detected Detection preview by Segmentatation_v8_medium_train_250 No objects detected Detection preview by Segmentation_V11_large_300_train_300 No objects detected Detection preview by Segmentation_v8_large_300_train_300
Original Image: P06050.jpg
GT: pliers
pliers Detection preview by Box_v11_medium_train_SIXray_OPIXray No objects detected Detection preview by DN_Medium_300_yolov8m_20t7_new No objects detected Detection preview by Segmentatation_v8_medium_train_250 No objects detected Detection preview by Segmentation_V11_large_300_train_300 No objects detected Detection preview by Segmentation_v8_large_300_train_300
Original Image: P06051.jpg
GT: pliers
pliers Detection preview by Box_v11_medium_train_SIXray_OPIXray pliers Detection preview by DN_Medium_300_yolov8m_20t7_new No objects detected Detection preview by Segmentatation_v8_medium_train_250 No objects detected Detection preview by Segmentation_V11_large_300_train_300 No objects detected Detection preview by Segmentation_v8_large_300_train_300
Original Image: P06052.jpg
GT: scissors
scissor Detection preview by Box_v11_medium_train_SIXray_OPIXray No objects detected Detection preview by DN_Medium_300_yolov8m_20t7_new scissor Detection preview by Segmentatation_v8_medium_train_250 scissor Detection preview by Segmentation_V11_large_300_train_300 scissor Detection preview by Segmentation_v8_large_300_train_300
Original Image: P06053.jpg
GT: scissors
scissor Detection preview by Box_v11_medium_train_SIXray_OPIXray No objects detected Detection preview by DN_Medium_300_yolov8m_20t7_new scissor Detection preview by Segmentatation_v8_medium_train_250 scissor Detection preview by Segmentation_V11_large_300_train_300 scissor Detection preview by Segmentation_v8_large_300_train_300
Original Image: P06054.jpg
GT: pliers, wrench
pliers, wrench Detection preview by Box_v11_medium_train_SIXray_OPIXray No objects detected Detection preview by DN_Medium_300_yolov8m_20t7_new wrench Detection preview by Segmentatation_v8_medium_train_250 wrench Detection preview by Segmentation_V11_large_300_train_300 wrench Detection preview by Segmentation_v8_large_300_train_300
Original Image: P06055.jpg
GT: scissors
scissor Detection preview by Box_v11_medium_train_SIXray_OPIXray No objects detected Detection preview by DN_Medium_300_yolov8m_20t7_new scissor Detection preview by Segmentatation_v8_medium_train_250 scissor Detection preview by Segmentation_V11_large_300_train_300 scissor Detection preview by Segmentation_v8_large_300_train_300
Original Image: P06056.jpg
GT: scissors
scissor Detection preview by Box_v11_medium_train_SIXray_OPIXray No objects detected Detection preview by DN_Medium_300_yolov8m_20t7_new scissor Detection preview by Segmentatation_v8_medium_train_250 scissor Detection preview by Segmentation_V11_large_300_train_300 scissor Detection preview by Segmentation_v8_large_300_train_300
Original Image: P06057.jpg
GT: wrench
wrench Detection preview by Box_v11_medium_train_SIXray_OPIXray No objects detected Detection preview by DN_Medium_300_yolov8m_20t7_new wrench Detection preview by Segmentatation_v8_medium_train_250 wrench Detection preview by Segmentation_V11_large_300_train_300 wrench Detection preview by Segmentation_v8_large_300_train_300
Original Image: P06058.jpg
GT: wrench
wrench Detection preview by Box_v11_medium_train_SIXray_OPIXray No objects detected Detection preview by DN_Medium_300_yolov8m_20t7_new wrench Detection preview by Segmentatation_v8_medium_train_250 wrench Detection preview by Segmentation_V11_large_300_train_300 wrench Detection preview by Segmentation_v8_large_300_train_300
Original Image: P06059.jpg
GT: pliers
pliers Detection preview by Box_v11_medium_train_SIXray_OPIXray No objects detected Detection preview by DN_Medium_300_yolov8m_20t7_new No objects detected Detection preview by Segmentatation_v8_medium_train_250 wrench Detection preview by Segmentation_V11_large_300_train_300 No objects detected Detection preview by Segmentation_v8_large_300_train_300
Original Image: P06060.jpg
GT: pliers
pliers Detection preview by Box_v11_medium_train_SIXray_OPIXray No objects detected Detection preview by DN_Medium_300_yolov8m_20t7_new No objects detected Detection preview by Segmentatation_v8_medium_train_250 wrench Detection preview by Segmentation_V11_large_300_train_300 No objects detected Detection preview by Segmentation_v8_large_300_train_300
Original Image: P06061.jpg
GT: pliers
pliers Detection preview by Box_v11_medium_train_SIXray_OPIXray No objects detected Detection preview by DN_Medium_300_yolov8m_20t7_new No objects detected Detection preview by Segmentatation_v8_medium_train_250 No objects detected Detection preview by Segmentation_V11_large_300_train_300 No objects detected Detection preview by Segmentation_v8_large_300_train_300
Original Image: P06062.jpg
GT: pliers
pliers Detection preview by Box_v11_medium_train_SIXray_OPIXray No objects detected Detection preview by DN_Medium_300_yolov8m_20t7_new No objects detected Detection preview by Segmentatation_v8_medium_train_250 No objects detected Detection preview by Segmentation_V11_large_300_train_300 No objects detected Detection preview by Segmentation_v8_large_300_train_300
Original Image: P06063.jpg
GT: pliers
pliers Detection preview by Box_v11_medium_train_SIXray_OPIXray No objects detected Detection preview by DN_Medium_300_yolov8m_20t7_new No objects detected Detection preview by Segmentatation_v8_medium_train_250 No objects detected Detection preview by Segmentation_V11_large_300_train_300 No objects detected Detection preview by Segmentation_v8_large_300_train_300
Original Image: P06064.jpg
GT: pliers
pliers Detection preview by Box_v11_medium_train_SIXray_OPIXray No objects detected Detection preview by DN_Medium_300_yolov8m_20t7_new No objects detected Detection preview by Segmentatation_v8_medium_train_250 No objects detected Detection preview by Segmentation_V11_large_300_train_300 No objects detected Detection preview by Segmentation_v8_large_300_train_300
Original Image: P06065.jpg
GT: pliers
pliers Detection preview by Box_v11_medium_train_SIXray_OPIXray No objects detected Detection preview by DN_Medium_300_yolov8m_20t7_new No objects detected Detection preview by Segmentatation_v8_medium_train_250 No objects detected Detection preview by Segmentation_V11_large_300_train_300 No objects detected Detection preview by Segmentation_v8_large_300_train_300
Original Image: P06066.jpg
GT: pliers
pliers Detection preview by Box_v11_medium_train_SIXray_OPIXray No objects detected Detection preview by DN_Medium_300_yolov8m_20t7_new No objects detected Detection preview by Segmentatation_v8_medium_train_250 No objects detected Detection preview by Segmentation_V11_large_300_train_300 No objects detected Detection preview by Segmentation_v8_large_300_train_300
Original Image: P06067.jpg
GT: pliers
pliers Detection preview by Box_v11_medium_train_SIXray_OPIXray No objects detected Detection preview by DN_Medium_300_yolov8m_20t7_new No objects detected Detection preview by Segmentatation_v8_medium_train_250 No objects detected Detection preview by Segmentation_V11_large_300_train_300 No objects detected Detection preview by Segmentation_v8_large_300_train_300
Original Image: P06068.jpg
GT: pliers
pliers Detection preview by Box_v11_medium_train_SIXray_OPIXray No objects detected Detection preview by DN_Medium_300_yolov8m_20t7_new No objects detected Detection preview by Segmentatation_v8_medium_train_250 No objects detected Detection preview by Segmentation_V11_large_300_train_300 No objects detected Detection preview by Segmentation_v8_large_300_train_300
Original Image: P06069.jpg
GT: pliers
pliers Detection preview by Box_v11_medium_train_SIXray_OPIXray No objects detected Detection preview by DN_Medium_300_yolov8m_20t7_new No objects detected Detection preview by Segmentatation_v8_medium_train_250 No objects detected Detection preview by Segmentation_V11_large_300_train_300 No objects detected Detection preview by Segmentation_v8_large_300_train_300
Original Image: P06070.jpg
GT: pliers
pliers Detection preview by Box_v11_medium_train_SIXray_OPIXray No objects detected Detection preview by DN_Medium_300_yolov8m_20t7_new No objects detected Detection preview by Segmentatation_v8_medium_train_250 No objects detected Detection preview by Segmentation_V11_large_300_train_300 No objects detected Detection preview by Segmentation_v8_large_300_train_300
Original Image: P06071.jpg
GT: pliers
pliers Detection preview by Box_v11_medium_train_SIXray_OPIXray No objects detected Detection preview by DN_Medium_300_yolov8m_20t7_new No objects detected Detection preview by Segmentatation_v8_medium_train_250 No objects detected Detection preview by Segmentation_V11_large_300_train_300 No objects detected Detection preview by Segmentation_v8_large_300_train_300
Original Image: P06072.jpg
GT: knife
knife Detection preview by Box_v11_medium_train_SIXray_OPIXray No objects detected Detection preview by DN_Medium_300_yolov8m_20t7_new No objects detected Detection preview by Segmentatation_v8_medium_train_250 No objects detected Detection preview by Segmentation_V11_large_300_train_300 No objects detected Detection preview by Segmentation_v8_large_300_train_300
Original Image: P06073.jpg
GT: pliers
pliers Detection preview by Box_v11_medium_train_SIXray_OPIXray No objects detected Detection preview by DN_Medium_300_yolov8m_20t7_new No objects detected Detection preview by Segmentatation_v8_medium_train_250 No objects detected Detection preview by Segmentation_V11_large_300_train_300 No objects detected Detection preview by Segmentation_v8_large_300_train_300
Original Image: P06074.jpg
GT: pliers
pliers Detection preview by Box_v11_medium_train_SIXray_OPIXray No objects detected Detection preview by DN_Medium_300_yolov8m_20t7_new No objects detected Detection preview by Segmentatation_v8_medium_train_250 No objects detected Detection preview by Segmentation_V11_large_300_train_300 No objects detected Detection preview by Segmentation_v8_large_300_train_300
Original Image: P06075.jpg
GT: pliers
pliers Detection preview by Box_v11_medium_train_SIXray_OPIXray No objects detected Detection preview by DN_Medium_300_yolov8m_20t7_new No objects detected Detection preview by Segmentatation_v8_medium_train_250 No objects detected Detection preview by Segmentation_V11_large_300_train_300 No objects detected Detection preview by Segmentation_v8_large_300_train_300
Original Image: P06076.jpg
GT: pliers
pliers Detection preview by Box_v11_medium_train_SIXray_OPIXray No objects detected Detection preview by DN_Medium_300_yolov8m_20t7_new No objects detected Detection preview by Segmentatation_v8_medium_train_250 No objects detected Detection preview by Segmentation_V11_large_300_train_300 No objects detected Detection preview by Segmentation_v8_large_300_train_300
Original Image: P06077.jpg
GT: scissors
scissor Detection preview by Box_v11_medium_train_SIXray_OPIXray scissor Detection preview by DN_Medium_300_yolov8m_20t7_new scissor Detection preview by Segmentatation_v8_medium_train_250 scissor Detection preview by Segmentation_V11_large_300_train_300 scissor Detection preview by Segmentation_v8_large_300_train_300
Original Image: P06078.jpg
GT: pliers
pliers Detection preview by Box_v11_medium_train_SIXray_OPIXray No objects detected Detection preview by DN_Medium_300_yolov8m_20t7_new No objects detected Detection preview by Segmentatation_v8_medium_train_250 No objects detected Detection preview by Segmentation_V11_large_300_train_300 No objects detected Detection preview by Segmentation_v8_large_300_train_300
Original Image: P06079.jpg
GT: pliers
pliers Detection preview by Box_v11_medium_train_SIXray_OPIXray No objects detected Detection preview by DN_Medium_300_yolov8m_20t7_new No objects detected Detection preview by Segmentatation_v8_medium_train_250 No objects detected Detection preview by Segmentation_V11_large_300_train_300 No objects detected Detection preview by Segmentation_v8_large_300_train_300
Original Image: P06080.jpg
GT: pliers
pliers Detection preview by Box_v11_medium_train_SIXray_OPIXray No objects detected Detection preview by DN_Medium_300_yolov8m_20t7_new No objects detected Detection preview by Segmentatation_v8_medium_train_250 No objects detected Detection preview by Segmentation_V11_large_300_train_300 No objects detected Detection preview by Segmentation_v8_large_300_train_300
Original Image: P06081.jpg
GT: pliers
pliers Detection preview by Box_v11_medium_train_SIXray_OPIXray No objects detected Detection preview by DN_Medium_300_yolov8m_20t7_new No objects detected Detection preview by Segmentatation_v8_medium_train_250 No objects detected Detection preview by Segmentation_V11_large_300_train_300 No objects detected Detection preview by Segmentation_v8_large_300_train_300
Original Image: P06082.jpg
GT: scissors
scissor Detection preview by Box_v11_medium_train_SIXray_OPIXray No objects detected Detection preview by DN_Medium_300_yolov8m_20t7_new scissor Detection preview by Segmentatation_v8_medium_train_250 scissor Detection preview by Segmentation_V11_large_300_train_300 scissor Detection preview by Segmentation_v8_large_300_train_300
Original Image: P06083.jpg
GT: scissors
scissor Detection preview by Box_v11_medium_train_SIXray_OPIXray scissor Detection preview by DN_Medium_300_yolov8m_20t7_new scissor Detection preview by Segmentatation_v8_medium_train_250 scissor Detection preview by Segmentation_V11_large_300_train_300 scissor Detection preview by Segmentation_v8_large_300_train_300
Original Image: P06084.jpg
GT: scissors
scissor Detection preview by Box_v11_medium_train_SIXray_OPIXray No objects detected Detection preview by DN_Medium_300_yolov8m_20t7_new scissor Detection preview by Segmentatation_v8_medium_train_250 scissor Detection preview by Segmentation_V11_large_300_train_300 scissor Detection preview by Segmentation_v8_large_300_train_300
Original Image: P06085.jpg
GT: pliers
pliers Detection preview by Box_v11_medium_train_SIXray_OPIXray No objects detected Detection preview by DN_Medium_300_yolov8m_20t7_new No objects detected Detection preview by Segmentatation_v8_medium_train_250 No objects detected Detection preview by Segmentation_V11_large_300_train_300 No objects detected Detection preview by Segmentation_v8_large_300_train_300
Original Image: P06086.jpg
GT: pliers
pliers Detection preview by Box_v11_medium_train_SIXray_OPIXray No objects detected Detection preview by DN_Medium_300_yolov8m_20t7_new No objects detected Detection preview by Segmentatation_v8_medium_train_250 No objects detected Detection preview by Segmentation_V11_large_300_train_300 No objects detected Detection preview by Segmentation_v8_large_300_train_300
Original Image: P06087.jpg
GT: pliers
pliers Detection preview by Box_v11_medium_train_SIXray_OPIXray No objects detected Detection preview by DN_Medium_300_yolov8m_20t7_new No objects detected Detection preview by Segmentatation_v8_medium_train_250 No objects detected Detection preview by Segmentation_V11_large_300_train_300 No objects detected Detection preview by Segmentation_v8_large_300_train_300
Original Image: P06088.jpg
GT: pliers
pliers Detection preview by Box_v11_medium_train_SIXray_OPIXray No objects detected Detection preview by DN_Medium_300_yolov8m_20t7_new No objects detected Detection preview by Segmentatation_v8_medium_train_250 No objects detected Detection preview by Segmentation_V11_large_300_train_300 No objects detected Detection preview by Segmentation_v8_large_300_train_300
Original Image: P06089.jpg
GT: pliers
pliers Detection preview by Box_v11_medium_train_SIXray_OPIXray No objects detected Detection preview by DN_Medium_300_yolov8m_20t7_new No objects detected Detection preview by Segmentatation_v8_medium_train_250 No objects detected Detection preview by Segmentation_V11_large_300_train_300 No objects detected Detection preview by Segmentation_v8_large_300_train_300
Original Image: P06090.jpg
GT: wrench
wrench Detection preview by Box_v11_medium_train_SIXray_OPIXray No objects detected Detection preview by DN_Medium_300_yolov8m_20t7_new wrench Detection preview by Segmentatation_v8_medium_train_250 wrench Detection preview by Segmentation_V11_large_300_train_300 wrench Detection preview by Segmentation_v8_large_300_train_300
Original Image: P06091.jpg
GT: wrench
wrench Detection preview by Box_v11_medium_train_SIXray_OPIXray No objects detected Detection preview by DN_Medium_300_yolov8m_20t7_new wrench Detection preview by Segmentatation_v8_medium_train_250 wrench Detection preview by Segmentation_V11_large_300_train_300 wrench Detection preview by Segmentation_v8_large_300_train_300
Original Image: P06092.jpg
GT: wrench
wrench Detection preview by Box_v11_medium_train_SIXray_OPIXray No objects detected Detection preview by DN_Medium_300_yolov8m_20t7_new wrench Detection preview by Segmentatation_v8_medium_train_250 wrench Detection preview by Segmentation_V11_large_300_train_300 wrench Detection preview by Segmentation_v8_large_300_train_300
Original Image: P06093.jpg
GT: wrench
wrench Detection preview by Box_v11_medium_train_SIXray_OPIXray No objects detected Detection preview by DN_Medium_300_yolov8m_20t7_new wrench Detection preview by Segmentatation_v8_medium_train_250 wrench Detection preview by Segmentation_V11_large_300_train_300 wrench Detection preview by Segmentation_v8_large_300_train_300
Original Image: P06094.jpg
GT: pliers
pliers Detection preview by Box_v11_medium_train_SIXray_OPIXray No objects detected Detection preview by DN_Medium_300_yolov8m_20t7_new No objects detected Detection preview by Segmentatation_v8_medium_train_250 No objects detected Detection preview by Segmentation_V11_large_300_train_300 No objects detected Detection preview by Segmentation_v8_large_300_train_300
Original Image: P06095.jpg
GT: knife
knife Detection preview by Box_v11_medium_train_SIXray_OPIXray No objects detected Detection preview by DN_Medium_300_yolov8m_20t7_new knife Detection preview by Segmentatation_v8_medium_train_250 knife Detection preview by Segmentation_V11_large_300_train_300 knife Detection preview by Segmentation_v8_large_300_train_300
Original Image: P06096.jpg
GT: knife
knife Detection preview by Box_v11_medium_train_SIXray_OPIXray No objects detected Detection preview by DN_Medium_300_yolov8m_20t7_new knife Detection preview by Segmentatation_v8_medium_train_250 knife Detection preview by Segmentation_V11_large_300_train_300 knife Detection preview by Segmentation_v8_large_300_train_300
Original Image: P06097.jpg
GT: knife
knife Detection preview by Box_v11_medium_train_SIXray_OPIXray No objects detected Detection preview by DN_Medium_300_yolov8m_20t7_new knife Detection preview by Segmentatation_v8_medium_train_250 knife Detection preview by Segmentation_V11_large_300_train_300 knife Detection preview by Segmentation_v8_large_300_train_300
Original Image: P06098.jpg
GT: knife
knife Detection preview by Box_v11_medium_train_SIXray_OPIXray No objects detected Detection preview by DN_Medium_300_yolov8m_20t7_new knife Detection preview by Segmentatation_v8_medium_train_250 knife Detection preview by Segmentation_V11_large_300_train_300 knife Detection preview by Segmentation_v8_large_300_train_300
Original Image: P06099.jpg
GT: pliers, wrench
pliers, wrench Detection preview by Box_v11_medium_train_SIXray_OPIXray No objects detected Detection preview by DN_Medium_300_yolov8m_20t7_new wrench Detection preview by Segmentatation_v8_medium_train_250 wrench Detection preview by Segmentation_V11_large_300_train_300 wrench Detection preview by Segmentation_v8_large_300_train_300
Original Image: P06100.jpg
GT: pliers, wrench
pliers, wrench Detection preview by Box_v11_medium_train_SIXray_OPIXray No objects detected Detection preview by DN_Medium_300_yolov8m_20t7_new wrench Detection preview by Segmentatation_v8_medium_train_250 wrench Detection preview by Segmentation_V11_large_300_train_300 wrench Detection preview by Segmentation_v8_large_300_train_300
Original Image: P06101.jpg
GT: pliers, wrench
pliers, wrench Detection preview by Box_v11_medium_train_SIXray_OPIXray No objects detected Detection preview by DN_Medium_300_yolov8m_20t7_new wrench Detection preview by Segmentatation_v8_medium_train_250 wrench Detection preview by Segmentation_V11_large_300_train_300 wrench Detection preview by Segmentation_v8_large_300_train_300
Original Image: P06102.jpg
GT: wrench
wrench Detection preview by Box_v11_medium_train_SIXray_OPIXray No objects detected Detection preview by DN_Medium_300_yolov8m_20t7_new wrench Detection preview by Segmentatation_v8_medium_train_250 wrench Detection preview by Segmentation_V11_large_300_train_300 wrench Detection preview by Segmentation_v8_large_300_train_300
Original Image: P06103.jpg
GT: pliers, wrench
pliers, wrench Detection preview by Box_v11_medium_train_SIXray_OPIXray No objects detected Detection preview by DN_Medium_300_yolov8m_20t7_new wrench Detection preview by Segmentatation_v8_medium_train_250 wrench Detection preview by Segmentation_V11_large_300_train_300 wrench Detection preview by Segmentation_v8_large_300_train_300
Original Image: P06104.jpg
GT: pliers, wrench
pliers, wrench Detection preview by Box_v11_medium_train_SIXray_OPIXray No objects detected Detection preview by DN_Medium_300_yolov8m_20t7_new wrench Detection preview by Segmentatation_v8_medium_train_250 wrench Detection preview by Segmentation_V11_large_300_train_300 wrench Detection preview by Segmentation_v8_large_300_train_300
Original Image: P06105.jpg
GT: pliers, wrench
pliers, wrench Detection preview by Box_v11_medium_train_SIXray_OPIXray No objects detected Detection preview by DN_Medium_300_yolov8m_20t7_new wrench Detection preview by Segmentatation_v8_medium_train_250 wrench Detection preview by Segmentation_V11_large_300_train_300 wrench Detection preview by Segmentation_v8_large_300_train_300
Original Image: P06106.jpg
GT: pliers, wrench
pliers, wrench Detection preview by Box_v11_medium_train_SIXray_OPIXray No objects detected Detection preview by DN_Medium_300_yolov8m_20t7_new wrench Detection preview by Segmentatation_v8_medium_train_250 wrench Detection preview by Segmentation_V11_large_300_train_300 wrench Detection preview by Segmentation_v8_large_300_train_300
Original Image: P06107.jpg
GT: pliers, wrench
pliers, wrench Detection preview by Box_v11_medium_train_SIXray_OPIXray No objects detected Detection preview by DN_Medium_300_yolov8m_20t7_new wrench Detection preview by Segmentatation_v8_medium_train_250 wrench Detection preview by Segmentation_V11_large_300_train_300 wrench Detection preview by Segmentation_v8_large_300_train_300
Original Image: P06108.jpg
GT: pliers, wrench
pliers, wrench Detection preview by Box_v11_medium_train_SIXray_OPIXray No objects detected Detection preview by DN_Medium_300_yolov8m_20t7_new wrench Detection preview by Segmentatation_v8_medium_train_250 wrench Detection preview by Segmentation_V11_large_300_train_300 wrench Detection preview by Segmentation_v8_large_300_train_300
Original Image: P06109.jpg
GT: pliers, wrench
pliers, wrench Detection preview by Box_v11_medium_train_SIXray_OPIXray No objects detected Detection preview by DN_Medium_300_yolov8m_20t7_new wrench Detection preview by Segmentatation_v8_medium_train_250 wrench Detection preview by Segmentation_V11_large_300_train_300 wrench Detection preview by Segmentation_v8_large_300_train_300
Original Image: P06110.jpg
GT: pliers, wrench
pliers, wrench Detection preview by Box_v11_medium_train_SIXray_OPIXray pliers Detection preview by DN_Medium_300_yolov8m_20t7_new wrench Detection preview by Segmentatation_v8_medium_train_250 wrench Detection preview by Segmentation_V11_large_300_train_300 wrench Detection preview by Segmentation_v8_large_300_train_300
Original Image: P06111.jpg
GT: pliers, wrench
pliers, wrench Detection preview by Box_v11_medium_train_SIXray_OPIXray No objects detected Detection preview by DN_Medium_300_yolov8m_20t7_new wrench Detection preview by Segmentatation_v8_medium_train_250 wrench Detection preview by Segmentation_V11_large_300_train_300 wrench Detection preview by Segmentation_v8_large_300_train_300
Original Image: P06112.jpg
GT: pliers, wrench
pliers, wrench Detection preview by Box_v11_medium_train_SIXray_OPIXray No objects detected Detection preview by DN_Medium_300_yolov8m_20t7_new wrench Detection preview by Segmentatation_v8_medium_train_250 wrench Detection preview by Segmentation_V11_large_300_train_300 wrench Detection preview by Segmentation_v8_large_300_train_300
Original Image: P06113.jpg
GT: pliers, wrench
pliers, wrench Detection preview by Box_v11_medium_train_SIXray_OPIXray No objects detected Detection preview by DN_Medium_300_yolov8m_20t7_new wrench Detection preview by Segmentatation_v8_medium_train_250 wrench Detection preview by Segmentation_V11_large_300_train_300 wrench Detection preview by Segmentation_v8_large_300_train_300
Original Image: P06114.jpg
GT: pliers
pliers Detection preview by Box_v11_medium_train_SIXray_OPIXray No objects detected Detection preview by DN_Medium_300_yolov8m_20t7_new wrench Detection preview by Segmentatation_v8_medium_train_250 wrench Detection preview by Segmentation_V11_large_300_train_300 wrench Detection preview by Segmentation_v8_large_300_train_300
Original Image: P06115.jpg
GT: pliers
pliers Detection preview by Box_v11_medium_train_SIXray_OPIXray No objects detected Detection preview by DN_Medium_300_yolov8m_20t7_new wrench Detection preview by Segmentatation_v8_medium_train_250 wrench Detection preview by Segmentation_V11_large_300_train_300 wrench Detection preview by Segmentation_v8_large_300_train_300
Original Image: P06116.jpg
GT: pliers
pliers Detection preview by Box_v11_medium_train_SIXray_OPIXray No objects detected Detection preview by DN_Medium_300_yolov8m_20t7_new wrench Detection preview by Segmentatation_v8_medium_train_250 wrench Detection preview by Segmentation_V11_large_300_train_300 wrench Detection preview by Segmentation_v8_large_300_train_300
Original Image: P06117.jpg
GT: scissors
scissor Detection preview by Box_v11_medium_train_SIXray_OPIXray No objects detected Detection preview by DN_Medium_300_yolov8m_20t7_new scissor Detection preview by Segmentatation_v8_medium_train_250 scissor Detection preview by Segmentation_V11_large_300_train_300 scissor Detection preview by Segmentation_v8_large_300_train_300
Original Image: P06118.jpg
GT: scissors
scissor Detection preview by Box_v11_medium_train_SIXray_OPIXray No objects detected Detection preview by DN_Medium_300_yolov8m_20t7_new scissor Detection preview by Segmentatation_v8_medium_train_250 scissor Detection preview by Segmentation_V11_large_300_train_300 scissor Detection preview by Segmentation_v8_large_300_train_300
Original Image: P06119.jpg
GT: scissors
scissor Detection preview by Box_v11_medium_train_SIXray_OPIXray No objects detected Detection preview by DN_Medium_300_yolov8m_20t7_new scissor Detection preview by Segmentatation_v8_medium_train_250 scissor Detection preview by Segmentation_V11_large_300_train_300 scissor Detection preview by Segmentation_v8_large_300_train_300
Original Image: P06120.jpg
GT: scissors
scissor Detection preview by Box_v11_medium_train_SIXray_OPIXray No objects detected Detection preview by DN_Medium_300_yolov8m_20t7_new scissor Detection preview by Segmentatation_v8_medium_train_250 scissor Detection preview by Segmentation_V11_large_300_train_300 scissor Detection preview by Segmentation_v8_large_300_train_300
Original Image: P06121.jpg
GT: scissors
scissor Detection preview by Box_v11_medium_train_SIXray_OPIXray No objects detected Detection preview by DN_Medium_300_yolov8m_20t7_new scissor Detection preview by Segmentatation_v8_medium_train_250 scissor Detection preview by Segmentation_V11_large_300_train_300 scissor Detection preview by Segmentation_v8_large_300_train_300
Original Image: P06122.jpg
GT: scissors
scissor Detection preview by Box_v11_medium_train_SIXray_OPIXray No objects detected Detection preview by DN_Medium_300_yolov8m_20t7_new scissor Detection preview by Segmentatation_v8_medium_train_250 scissor Detection preview by Segmentation_V11_large_300_train_300 scissor Detection preview by Segmentation_v8_large_300_train_300
Original Image: P06123.jpg
GT: scissors
scissor Detection preview by Box_v11_medium_train_SIXray_OPIXray No objects detected Detection preview by DN_Medium_300_yolov8m_20t7_new scissor Detection preview by Segmentatation_v8_medium_train_250 scissor Detection preview by Segmentation_V11_large_300_train_300 scissor Detection preview by Segmentation_v8_large_300_train_300
Original Image: P06124.jpg
GT: scissors
scissor Detection preview by Box_v11_medium_train_SIXray_OPIXray No objects detected Detection preview by DN_Medium_300_yolov8m_20t7_new scissor Detection preview by Segmentatation_v8_medium_train_250 scissor Detection preview by Segmentation_V11_large_300_train_300 scissor Detection preview by Segmentation_v8_large_300_train_300
Original Image: P06125.jpg
GT: scissors
scissor Detection preview by Box_v11_medium_train_SIXray_OPIXray No objects detected Detection preview by DN_Medium_300_yolov8m_20t7_new scissor Detection preview by Segmentatation_v8_medium_train_250 scissor Detection preview by Segmentation_V11_large_300_train_300 scissor Detection preview by Segmentation_v8_large_300_train_300
Original Image: P06126.jpg
GT: scissors
scissor Detection preview by Box_v11_medium_train_SIXray_OPIXray scissor Detection preview by DN_Medium_300_yolov8m_20t7_new scissor Detection preview by Segmentatation_v8_medium_train_250 scissor Detection preview by Segmentation_V11_large_300_train_300 scissor Detection preview by Segmentation_v8_large_300_train_300
Original Image: P06127.jpg
GT: scissors
scissor Detection preview by Box_v11_medium_train_SIXray_OPIXray scissor Detection preview by DN_Medium_300_yolov8m_20t7_new scissor Detection preview by Segmentatation_v8_medium_train_250 scissor Detection preview by Segmentation_V11_large_300_train_300 scissor Detection preview by Segmentation_v8_large_300_train_300
Original Image: P06128.jpg
GT: scissors
scissor Detection preview by Box_v11_medium_train_SIXray_OPIXray No objects detected Detection preview by DN_Medium_300_yolov8m_20t7_new scissor Detection preview by Segmentatation_v8_medium_train_250 scissor Detection preview by Segmentation_V11_large_300_train_300 scissor Detection preview by Segmentation_v8_large_300_train_300
Original Image: P06129.jpg
GT: knife, pliers
knife, pliers Detection preview by Box_v11_medium_train_SIXray_OPIXray No objects detected Detection preview by DN_Medium_300_yolov8m_20t7_new knife Detection preview by Segmentatation_v8_medium_train_250 knife Detection preview by Segmentation_V11_large_300_train_300 knife Detection preview by Segmentation_v8_large_300_train_300
Original Image: P06130.jpg
GT: knife, pliers
knife, pliers Detection preview by Box_v11_medium_train_SIXray_OPIXray No objects detected Detection preview by DN_Medium_300_yolov8m_20t7_new knife Detection preview by Segmentatation_v8_medium_train_250 knife Detection preview by Segmentation_V11_large_300_train_300 knife Detection preview by Segmentation_v8_large_300_train_300
Original Image: P06131.jpg
GT: knife, pliers
knife, pliers Detection preview by Box_v11_medium_train_SIXray_OPIXray No objects detected Detection preview by DN_Medium_300_yolov8m_20t7_new knife Detection preview by Segmentatation_v8_medium_train_250 knife Detection preview by Segmentation_V11_large_300_train_300 knife Detection preview by Segmentation_v8_large_300_train_300
Original Image: P06132.jpg
GT: knife, pliers
knife, pliers Detection preview by Box_v11_medium_train_SIXray_OPIXray No objects detected Detection preview by DN_Medium_300_yolov8m_20t7_new knife Detection preview by Segmentatation_v8_medium_train_250 knife Detection preview by Segmentation_V11_large_300_train_300 knife Detection preview by Segmentation_v8_large_300_train_300
Original Image: P06133.jpg
GT: pliers
pliers Detection preview by Box_v11_medium_train_SIXray_OPIXray No objects detected Detection preview by DN_Medium_300_yolov8m_20t7_new wrench Detection preview by Segmentatation_v8_medium_train_250 No objects detected Detection preview by Segmentation_V11_large_300_train_300 No objects detected Detection preview by Segmentation_v8_large_300_train_300
Original Image: P06134.jpg
GT: pliers
pliers Detection preview by Box_v11_medium_train_SIXray_OPIXray pliers Detection preview by DN_Medium_300_yolov8m_20t7_new No objects detected Detection preview by Segmentatation_v8_medium_train_250 No objects detected Detection preview by Segmentation_V11_large_300_train_300 No objects detected Detection preview by Segmentation_v8_large_300_train_300
Original Image: P06135.jpg
GT: pliers
pliers Detection preview by Box_v11_medium_train_SIXray_OPIXray pliers Detection preview by DN_Medium_300_yolov8m_20t7_new No objects detected Detection preview by Segmentatation_v8_medium_train_250 No objects detected Detection preview by Segmentation_V11_large_300_train_300 No objects detected Detection preview by Segmentation_v8_large_300_train_300
Original Image: P06136.jpg
GT: scissors
scissor Detection preview by Box_v11_medium_train_SIXray_OPIXray scissor Detection preview by DN_Medium_300_yolov8m_20t7_new scissor Detection preview by Segmentatation_v8_medium_train_250 scissor Detection preview by Segmentation_V11_large_300_train_300 scissor Detection preview by Segmentation_v8_large_300_train_300
Original Image: P06137.jpg
GT: scissors
scissor Detection preview by Box_v11_medium_train_SIXray_OPIXray scissor Detection preview by DN_Medium_300_yolov8m_20t7_new scissor Detection preview by Segmentatation_v8_medium_train_250 scissor Detection preview by Segmentation_V11_large_300_train_300 scissor Detection preview by Segmentation_v8_large_300_train_300
Original Image: P06138.jpg
GT: scissors
scissor Detection preview by Box_v11_medium_train_SIXray_OPIXray scissor Detection preview by DN_Medium_300_yolov8m_20t7_new scissor Detection preview by Segmentatation_v8_medium_train_250 scissor Detection preview by Segmentation_V11_large_300_train_300 scissor Detection preview by Segmentation_v8_large_300_train_300
Original Image: P06139.jpg
GT: pliers
pliers Detection preview by Box_v11_medium_train_SIXray_OPIXray No objects detected Detection preview by DN_Medium_300_yolov8m_20t7_new No objects detected Detection preview by Segmentatation_v8_medium_train_250 No objects detected Detection preview by Segmentation_V11_large_300_train_300 No objects detected Detection preview by Segmentation_v8_large_300_train_300
Original Image: P06140.jpg
GT: pliers
pliers Detection preview by Box_v11_medium_train_SIXray_OPIXray No objects detected Detection preview by DN_Medium_300_yolov8m_20t7_new No objects detected Detection preview by Segmentatation_v8_medium_train_250 No objects detected Detection preview by Segmentation_V11_large_300_train_300 No objects detected Detection preview by Segmentation_v8_large_300_train_300
Original Image: P06141.jpg
GT: pliers
pliers Detection preview by Box_v11_medium_train_SIXray_OPIXray No objects detected Detection preview by DN_Medium_300_yolov8m_20t7_new No objects detected Detection preview by Segmentatation_v8_medium_train_250 No objects detected Detection preview by Segmentation_V11_large_300_train_300 No objects detected Detection preview by Segmentation_v8_large_300_train_300
Original Image: P06142.jpg
GT: pliers
pliers Detection preview by Box_v11_medium_train_SIXray_OPIXray No objects detected Detection preview by DN_Medium_300_yolov8m_20t7_new No objects detected Detection preview by Segmentatation_v8_medium_train_250 No objects detected Detection preview by Segmentation_V11_large_300_train_300 No objects detected Detection preview by Segmentation_v8_large_300_train_300
Original Image: P06143.jpg
GT: pliers
pliers Detection preview by Box_v11_medium_train_SIXray_OPIXray No objects detected Detection preview by DN_Medium_300_yolov8m_20t7_new No objects detected Detection preview by Segmentatation_v8_medium_train_250 No objects detected Detection preview by Segmentation_V11_large_300_train_300 No objects detected Detection preview by Segmentation_v8_large_300_train_300
Original Image: P06144.jpg
GT: pliers
pliers Detection preview by Box_v11_medium_train_SIXray_OPIXray No objects detected Detection preview by DN_Medium_300_yolov8m_20t7_new No objects detected Detection preview by Segmentatation_v8_medium_train_250 No objects detected Detection preview by Segmentation_V11_large_300_train_300 No objects detected Detection preview by Segmentation_v8_large_300_train_300
Original Image: P06145.jpg
GT: pliers
pliers Detection preview by Box_v11_medium_train_SIXray_OPIXray pliers Detection preview by DN_Medium_300_yolov8m_20t7_new No objects detected Detection preview by Segmentatation_v8_medium_train_250 No objects detected Detection preview by Segmentation_V11_large_300_train_300 No objects detected Detection preview by Segmentation_v8_large_300_train_300
Original Image: P06146.jpg
GT: pliers
pliers Detection preview by Box_v11_medium_train_SIXray_OPIXray No objects detected Detection preview by DN_Medium_300_yolov8m_20t7_new No objects detected Detection preview by Segmentatation_v8_medium_train_250 No objects detected Detection preview by Segmentation_V11_large_300_train_300 No objects detected Detection preview by Segmentation_v8_large_300_train_300
Original Image: P06147.jpg
GT: pliers
pliers Detection preview by Box_v11_medium_train_SIXray_OPIXray No objects detected Detection preview by DN_Medium_300_yolov8m_20t7_new No objects detected Detection preview by Segmentatation_v8_medium_train_250 No objects detected Detection preview by Segmentation_V11_large_300_train_300 No objects detected Detection preview by Segmentation_v8_large_300_train_300
Original Image: P06148.jpg
GT: pliers
pliers Detection preview by Box_v11_medium_train_SIXray_OPIXray No objects detected Detection preview by DN_Medium_300_yolov8m_20t7_new No objects detected Detection preview by Segmentatation_v8_medium_train_250 No objects detected Detection preview by Segmentation_V11_large_300_train_300 No objects detected Detection preview by Segmentation_v8_large_300_train_300
Original Image: P06149.jpg
GT: pliers
pliers Detection preview by Box_v11_medium_train_SIXray_OPIXray No objects detected Detection preview by DN_Medium_300_yolov8m_20t7_new No objects detected Detection preview by Segmentatation_v8_medium_train_250 No objects detected Detection preview by Segmentation_V11_large_300_train_300 No objects detected Detection preview by Segmentation_v8_large_300_train_300
Original Image: P06150.jpg
GT: scissors
scissor Detection preview by Box_v11_medium_train_SIXray_OPIXray No objects detected Detection preview by DN_Medium_300_yolov8m_20t7_new scissor Detection preview by Segmentatation_v8_medium_train_250 scissor Detection preview by Segmentation_V11_large_300_train_300 scissor Detection preview by Segmentation_v8_large_300_train_300
Original Image: P06151.jpg
GT: pliers
pliers Detection preview by Box_v11_medium_train_SIXray_OPIXray No objects detected Detection preview by DN_Medium_300_yolov8m_20t7_new No objects detected Detection preview by Segmentatation_v8_medium_train_250 No objects detected Detection preview by Segmentation_V11_large_300_train_300 No objects detected Detection preview by Segmentation_v8_large_300_train_300
Original Image: P06152.jpg
GT: pliers
pliers Detection preview by Box_v11_medium_train_SIXray_OPIXray No objects detected Detection preview by DN_Medium_300_yolov8m_20t7_new No objects detected Detection preview by Segmentatation_v8_medium_train_250 No objects detected Detection preview by Segmentation_V11_large_300_train_300 No objects detected Detection preview by Segmentation_v8_large_300_train_300
Original Image: P06153.jpg
GT: pliers
pliers Detection preview by Box_v11_medium_train_SIXray_OPIXray pliers Detection preview by DN_Medium_300_yolov8m_20t7_new No objects detected Detection preview by Segmentatation_v8_medium_train_250 No objects detected Detection preview by Segmentation_V11_large_300_train_300 No objects detected Detection preview by Segmentation_v8_large_300_train_300
Original Image: P06154.jpg
GT: knife
knife Detection preview by Box_v11_medium_train_SIXray_OPIXray No objects detected Detection preview by DN_Medium_300_yolov8m_20t7_new knife Detection preview by Segmentatation_v8_medium_train_250 knife Detection preview by Segmentation_V11_large_300_train_300 knife Detection preview by Segmentation_v8_large_300_train_300
Original Image: P06155.jpg
GT: knife
knife Detection preview by Box_v11_medium_train_SIXray_OPIXray scissor Detection preview by DN_Medium_300_yolov8m_20t7_new knife Detection preview by Segmentatation_v8_medium_train_250 knife Detection preview by Segmentation_V11_large_300_train_300 knife Detection preview by Segmentation_v8_large_300_train_300
Original Image: P06156.jpg
GT: pliers
pliers Detection preview by Box_v11_medium_train_SIXray_OPIXray pliers Detection preview by DN_Medium_300_yolov8m_20t7_new No objects detected Detection preview by Segmentatation_v8_medium_train_250 No objects detected Detection preview by Segmentation_V11_large_300_train_300 No objects detected Detection preview by Segmentation_v8_large_300_train_300
Original Image: P06157.jpg
GT: pliers
pliers Detection preview by Box_v11_medium_train_SIXray_OPIXray pliers Detection preview by DN_Medium_300_yolov8m_20t7_new No objects detected Detection preview by Segmentatation_v8_medium_train_250 No objects detected Detection preview by Segmentation_V11_large_300_train_300 No objects detected Detection preview by Segmentation_v8_large_300_train_300
Original Image: P06158.jpg
GT: pliers
pliers Detection preview by Box_v11_medium_train_SIXray_OPIXray No objects detected Detection preview by DN_Medium_300_yolov8m_20t7_new No objects detected Detection preview by Segmentatation_v8_medium_train_250 No objects detected Detection preview by Segmentation_V11_large_300_train_300 No objects detected Detection preview by Segmentation_v8_large_300_train_300
Original Image: P06159.jpg
GT: pliers
pliers Detection preview by Box_v11_medium_train_SIXray_OPIXray No objects detected Detection preview by DN_Medium_300_yolov8m_20t7_new No objects detected Detection preview by Segmentatation_v8_medium_train_250 No objects detected Detection preview by Segmentation_V11_large_300_train_300 No objects detected Detection preview by Segmentation_v8_large_300_train_300
Original Image: P06160.jpg
GT: pliers
pliers Detection preview by Box_v11_medium_train_SIXray_OPIXray pliers Detection preview by DN_Medium_300_yolov8m_20t7_new No objects detected Detection preview by Segmentatation_v8_medium_train_250 No objects detected Detection preview by Segmentation_V11_large_300_train_300 No objects detected Detection preview by Segmentation_v8_large_300_train_300
Original Image: P06161.jpg
GT: scissors
scissor Detection preview by Box_v11_medium_train_SIXray_OPIXray scissor Detection preview by DN_Medium_300_yolov8m_20t7_new scissor Detection preview by Segmentatation_v8_medium_train_250 scissor Detection preview by Segmentation_V11_large_300_train_300 scissor Detection preview by Segmentation_v8_large_300_train_300
Original Image: P06162.jpg
GT: pliers, wrench
pliers, wrench Detection preview by Box_v11_medium_train_SIXray_OPIXray No objects detected Detection preview by DN_Medium_300_yolov8m_20t7_new wrench Detection preview by Segmentatation_v8_medium_train_250 wrench Detection preview by Segmentation_V11_large_300_train_300 wrench Detection preview by Segmentation_v8_large_300_train_300
Original Image: P06163.jpg
GT: pliers, wrench
pliers, wrench Detection preview by Box_v11_medium_train_SIXray_OPIXray No objects detected Detection preview by DN_Medium_300_yolov8m_20t7_new wrench Detection preview by Segmentatation_v8_medium_train_250 wrench Detection preview by Segmentation_V11_large_300_train_300 wrench Detection preview by Segmentation_v8_large_300_train_300
Original Image: P06164.jpg
GT: pliers, wrench
pliers, wrench Detection preview by Box_v11_medium_train_SIXray_OPIXray No objects detected Detection preview by DN_Medium_300_yolov8m_20t7_new wrench Detection preview by Segmentatation_v8_medium_train_250 wrench Detection preview by Segmentation_V11_large_300_train_300 wrench Detection preview by Segmentation_v8_large_300_train_300
Original Image: P06165.jpg
GT: pliers, wrench
pliers, wrench Detection preview by Box_v11_medium_train_SIXray_OPIXray No objects detected Detection preview by DN_Medium_300_yolov8m_20t7_new wrench Detection preview by Segmentatation_v8_medium_train_250 wrench Detection preview by Segmentation_V11_large_300_train_300 wrench Detection preview by Segmentation_v8_large_300_train_300
Original Image: P06166.jpg
GT: pliers, wrench
pliers, wrench Detection preview by Box_v11_medium_train_SIXray_OPIXray No objects detected Detection preview by DN_Medium_300_yolov8m_20t7_new wrench Detection preview by Segmentatation_v8_medium_train_250 wrench Detection preview by Segmentation_V11_large_300_train_300 wrench Detection preview by Segmentation_v8_large_300_train_300
Original Image: P06167.jpg
GT: pliers
pliers Detection preview by Box_v11_medium_train_SIXray_OPIXray No objects detected Detection preview by DN_Medium_300_yolov8m_20t7_new No objects detected Detection preview by Segmentatation_v8_medium_train_250 No objects detected Detection preview by Segmentation_V11_large_300_train_300 No objects detected Detection preview by Segmentation_v8_large_300_train_300
Original Image: P06168.jpg
GT: knife
knife Detection preview by Box_v11_medium_train_SIXray_OPIXray No objects detected Detection preview by DN_Medium_300_yolov8m_20t7_new No objects detected Detection preview by Segmentatation_v8_medium_train_250 knife, scissor Detection preview by Segmentation_V11_large_300_train_300 No objects detected Detection preview by Segmentation_v8_large_300_train_300
Original Image: P06169.jpg
GT: wrench
wrench Detection preview by Box_v11_medium_train_SIXray_OPIXray No objects detected Detection preview by DN_Medium_300_yolov8m_20t7_new wrench Detection preview by Segmentatation_v8_medium_train_250 wrench Detection preview by Segmentation_V11_large_300_train_300 wrench Detection preview by Segmentation_v8_large_300_train_300
Original Image: P06170.jpg
GT: wrench
wrench Detection preview by Box_v11_medium_train_SIXray_OPIXray No objects detected Detection preview by DN_Medium_300_yolov8m_20t7_new wrench Detection preview by Segmentatation_v8_medium_train_250 wrench Detection preview by Segmentation_V11_large_300_train_300 wrench Detection preview by Segmentation_v8_large_300_train_300
Original Image: P06171.jpg
GT: wrench
wrench Detection preview by Box_v11_medium_train_SIXray_OPIXray No objects detected Detection preview by DN_Medium_300_yolov8m_20t7_new wrench Detection preview by Segmentatation_v8_medium_train_250 wrench Detection preview by Segmentation_V11_large_300_train_300 wrench Detection preview by Segmentation_v8_large_300_train_300
Original Image: P06172.jpg
GT: pliers
pliers Detection preview by Box_v11_medium_train_SIXray_OPIXray pliers Detection preview by DN_Medium_300_yolov8m_20t7_new No objects detected Detection preview by Segmentatation_v8_medium_train_250 No objects detected Detection preview by Segmentation_V11_large_300_train_300 No objects detected Detection preview by Segmentation_v8_large_300_train_300
Original Image: P06173.jpg
GT: scissors
scissor Detection preview by Box_v11_medium_train_SIXray_OPIXray No objects detected Detection preview by DN_Medium_300_yolov8m_20t7_new scissor Detection preview by Segmentatation_v8_medium_train_250 scissor Detection preview by Segmentation_V11_large_300_train_300 scissor Detection preview by Segmentation_v8_large_300_train_300
Original Image: P06174.jpg
GT: scissors
scissor Detection preview by Box_v11_medium_train_SIXray_OPIXray No objects detected Detection preview by DN_Medium_300_yolov8m_20t7_new scissor Detection preview by Segmentatation_v8_medium_train_250 scissor Detection preview by Segmentation_V11_large_300_train_300 scissor Detection preview by Segmentation_v8_large_300_train_300
Original Image: P06175.jpg
GT: scissors
scissor Detection preview by Box_v11_medium_train_SIXray_OPIXray scissor Detection preview by DN_Medium_300_yolov8m_20t7_new scissor Detection preview by Segmentatation_v8_medium_train_250 scissor Detection preview by Segmentation_V11_large_300_train_300 scissor Detection preview by Segmentation_v8_large_300_train_300
Original Image: P06176.jpg
GT: pliers
pliers Detection preview by Box_v11_medium_train_SIXray_OPIXray No objects detected Detection preview by DN_Medium_300_yolov8m_20t7_new No objects detected Detection preview by Segmentatation_v8_medium_train_250 No objects detected Detection preview by Segmentation_V11_large_300_train_300 No objects detected Detection preview by Segmentation_v8_large_300_train_300
Original Image: P06177.jpg
GT: pliers
pliers Detection preview by Box_v11_medium_train_SIXray_OPIXray No objects detected Detection preview by DN_Medium_300_yolov8m_20t7_new No objects detected Detection preview by Segmentatation_v8_medium_train_250 No objects detected Detection preview by Segmentation_V11_large_300_train_300 No objects detected Detection preview by Segmentation_v8_large_300_train_300
Original Image: P06178.jpg
GT: pliers
pliers Detection preview by Box_v11_medium_train_SIXray_OPIXray No objects detected Detection preview by DN_Medium_300_yolov8m_20t7_new No objects detected Detection preview by Segmentatation_v8_medium_train_250 No objects detected Detection preview by Segmentation_V11_large_300_train_300 No objects detected Detection preview by Segmentation_v8_large_300_train_300
Original Image: P06179.jpg
GT: pliers, wrench
pliers, wrench Detection preview by Box_v11_medium_train_SIXray_OPIXray No objects detected Detection preview by DN_Medium_300_yolov8m_20t7_new wrench Detection preview by Segmentatation_v8_medium_train_250 wrench Detection preview by Segmentation_V11_large_300_train_300 wrench Detection preview by Segmentation_v8_large_300_train_300
Original Image: P06180.jpg
GT: pliers, wrench
pliers, wrench Detection preview by Box_v11_medium_train_SIXray_OPIXray No objects detected Detection preview by DN_Medium_300_yolov8m_20t7_new wrench Detection preview by Segmentatation_v8_medium_train_250 wrench Detection preview by Segmentation_V11_large_300_train_300 wrench Detection preview by Segmentation_v8_large_300_train_300
Original Image: P06181.jpg
GT: pliers, wrench
pliers, wrench Detection preview by Box_v11_medium_train_SIXray_OPIXray No objects detected Detection preview by DN_Medium_300_yolov8m_20t7_new wrench Detection preview by Segmentatation_v8_medium_train_250 wrench Detection preview by Segmentation_V11_large_300_train_300 wrench Detection preview by Segmentation_v8_large_300_train_300
Original Image: P06182.jpg
GT: pliers, wrench
pliers, wrench Detection preview by Box_v11_medium_train_SIXray_OPIXray No objects detected Detection preview by DN_Medium_300_yolov8m_20t7_new wrench Detection preview by Segmentatation_v8_medium_train_250 wrench Detection preview by Segmentation_V11_large_300_train_300 wrench Detection preview by Segmentation_v8_large_300_train_300
Original Image: P06183.jpg
GT: pliers, wrench
pliers, wrench Detection preview by Box_v11_medium_train_SIXray_OPIXray No objects detected Detection preview by DN_Medium_300_yolov8m_20t7_new wrench Detection preview by Segmentatation_v8_medium_train_250 wrench Detection preview by Segmentation_V11_large_300_train_300 wrench Detection preview by Segmentation_v8_large_300_train_300
Original Image: P06184.jpg
GT: pliers
pliers Detection preview by Box_v11_medium_train_SIXray_OPIXray No objects detected Detection preview by DN_Medium_300_yolov8m_20t7_new wrench Detection preview by Segmentatation_v8_medium_train_250 wrench Detection preview by Segmentation_V11_large_300_train_300 wrench Detection preview by Segmentation_v8_large_300_train_300
Original Image: P06185.jpg
GT: pliers
pliers Detection preview by Box_v11_medium_train_SIXray_OPIXray No objects detected Detection preview by DN_Medium_300_yolov8m_20t7_new No objects detected Detection preview by Segmentatation_v8_medium_train_250 No objects detected Detection preview by Segmentation_V11_large_300_train_300 No objects detected Detection preview by Segmentation_v8_large_300_train_300
Original Image: P06186.jpg
GT: pliers
pliers Detection preview by Box_v11_medium_train_SIXray_OPIXray No objects detected Detection preview by DN_Medium_300_yolov8m_20t7_new No objects detected Detection preview by Segmentatation_v8_medium_train_250 No objects detected Detection preview by Segmentation_V11_large_300_train_300 No objects detected Detection preview by Segmentation_v8_large_300_train_300
Original Image: P06187.jpg
GT: pliers
pliers Detection preview by Box_v11_medium_train_SIXray_OPIXray No objects detected Detection preview by DN_Medium_300_yolov8m_20t7_new No objects detected Detection preview by Segmentatation_v8_medium_train_250 No objects detected Detection preview by Segmentation_V11_large_300_train_300 No objects detected Detection preview by Segmentation_v8_large_300_train_300
Original Image: P06188.jpg
GT: pliers
pliers Detection preview by Box_v11_medium_train_SIXray_OPIXray No objects detected Detection preview by DN_Medium_300_yolov8m_20t7_new No objects detected Detection preview by Segmentatation_v8_medium_train_250 No objects detected Detection preview by Segmentation_V11_large_300_train_300 No objects detected Detection preview by Segmentation_v8_large_300_train_300
Original Image: P06189.jpg
GT: pliers
pliers Detection preview by Box_v11_medium_train_SIXray_OPIXray No objects detected Detection preview by DN_Medium_300_yolov8m_20t7_new No objects detected Detection preview by Segmentatation_v8_medium_train_250 No objects detected Detection preview by Segmentation_V11_large_300_train_300 No objects detected Detection preview by Segmentation_v8_large_300_train_300
Original Image: P06190.jpg
GT: pliers
pliers Detection preview by Box_v11_medium_train_SIXray_OPIXray No objects detected Detection preview by DN_Medium_300_yolov8m_20t7_new No objects detected Detection preview by Segmentatation_v8_medium_train_250 No objects detected Detection preview by Segmentation_V11_large_300_train_300 No objects detected Detection preview by Segmentation_v8_large_300_train_300
Original Image: P06191.jpg
GT: pliers
pliers Detection preview by Box_v11_medium_train_SIXray_OPIXray No objects detected Detection preview by DN_Medium_300_yolov8m_20t7_new No objects detected Detection preview by Segmentatation_v8_medium_train_250 No objects detected Detection preview by Segmentation_V11_large_300_train_300 No objects detected Detection preview by Segmentation_v8_large_300_train_300
Original Image: P06192.jpg
GT: pliers
pliers Detection preview by Box_v11_medium_train_SIXray_OPIXray No objects detected Detection preview by DN_Medium_300_yolov8m_20t7_new No objects detected Detection preview by Segmentatation_v8_medium_train_250 No objects detected Detection preview by Segmentation_V11_large_300_train_300 No objects detected Detection preview by Segmentation_v8_large_300_train_300
Original Image: P06193.jpg
GT: pliers
pliers Detection preview by Box_v11_medium_train_SIXray_OPIXray No objects detected Detection preview by DN_Medium_300_yolov8m_20t7_new No objects detected Detection preview by Segmentatation_v8_medium_train_250 No objects detected Detection preview by Segmentation_V11_large_300_train_300 No objects detected Detection preview by Segmentation_v8_large_300_train_300
Original Image: P06194.jpg
GT: pliers
pliers Detection preview by Box_v11_medium_train_SIXray_OPIXray No objects detected Detection preview by DN_Medium_300_yolov8m_20t7_new No objects detected Detection preview by Segmentatation_v8_medium_train_250 No objects detected Detection preview by Segmentation_V11_large_300_train_300 No objects detected Detection preview by Segmentation_v8_large_300_train_300
Original Image: P06195.jpg
GT: pliers
pliers Detection preview by Box_v11_medium_train_SIXray_OPIXray No objects detected Detection preview by DN_Medium_300_yolov8m_20t7_new No objects detected Detection preview by Segmentatation_v8_medium_train_250 No objects detected Detection preview by Segmentation_V11_large_300_train_300 No objects detected Detection preview by Segmentation_v8_large_300_train_300
Original Image: P06196.jpg
GT: wrench
wrench Detection preview by Box_v11_medium_train_SIXray_OPIXray No objects detected Detection preview by DN_Medium_300_yolov8m_20t7_new wrench Detection preview by Segmentatation_v8_medium_train_250 wrench Detection preview by Segmentation_V11_large_300_train_300 wrench Detection preview by Segmentation_v8_large_300_train_300
Original Image: P06197.jpg
GT: wrench
wrench Detection preview by Box_v11_medium_train_SIXray_OPIXray No objects detected Detection preview by DN_Medium_300_yolov8m_20t7_new wrench Detection preview by Segmentatation_v8_medium_train_250 wrench Detection preview by Segmentation_V11_large_300_train_300 wrench Detection preview by Segmentation_v8_large_300_train_300
Original Image: P06198.jpg
GT: wrench
wrench Detection preview by Box_v11_medium_train_SIXray_OPIXray pliers Detection preview by DN_Medium_300_yolov8m_20t7_new wrench Detection preview by Segmentatation_v8_medium_train_250 wrench Detection preview by Segmentation_V11_large_300_train_300 wrench Detection preview by Segmentation_v8_large_300_train_300
Original Image: P06199.jpg
GT: wrench
wrench Detection preview by Box_v11_medium_train_SIXray_OPIXray pliers Detection preview by DN_Medium_300_yolov8m_20t7_new wrench Detection preview by Segmentatation_v8_medium_train_250 wrench Detection preview by Segmentation_V11_large_300_train_300 wrench Detection preview by Segmentation_v8_large_300_train_300
Original Image: P06200.jpg
GT: pliers
pliers Detection preview by Box_v11_medium_train_SIXray_OPIXray pliers Detection preview by DN_Medium_300_yolov8m_20t7_new No objects detected Detection preview by Segmentatation_v8_medium_train_250 No objects detected Detection preview by Segmentation_V11_large_300_train_300 No objects detected Detection preview by Segmentation_v8_large_300_train_300
Original Image: P06201.jpg
GT: pliers
pliers Detection preview by Box_v11_medium_train_SIXray_OPIXray No objects detected Detection preview by DN_Medium_300_yolov8m_20t7_new No objects detected Detection preview by Segmentatation_v8_medium_train_250 No objects detected Detection preview by Segmentation_V11_large_300_train_300 No objects detected Detection preview by Segmentation_v8_large_300_train_300
Original Image: P06202.jpg
GT: pliers
pliers Detection preview by Box_v11_medium_train_SIXray_OPIXray No objects detected Detection preview by DN_Medium_300_yolov8m_20t7_new No objects detected Detection preview by Segmentatation_v8_medium_train_250 No objects detected Detection preview by Segmentation_V11_large_300_train_300 No objects detected Detection preview by Segmentation_v8_large_300_train_300
Original Image: P06203.jpg
GT: scissors
scissor Detection preview by Box_v11_medium_train_SIXray_OPIXray scissor Detection preview by DN_Medium_300_yolov8m_20t7_new scissor Detection preview by Segmentatation_v8_medium_train_250 scissor Detection preview by Segmentation_V11_large_300_train_300 No objects detected Detection preview by Segmentation_v8_large_300_train_300
Original Image: P06204.jpg
GT: scissors
scissor Detection preview by Box_v11_medium_train_SIXray_OPIXray No objects detected Detection preview by DN_Medium_300_yolov8m_20t7_new scissor Detection preview by Segmentatation_v8_medium_train_250 scissor Detection preview by Segmentation_V11_large_300_train_300 scissor Detection preview by Segmentation_v8_large_300_train_300
Original Image: P06205.jpg
GT: pliers
pliers Detection preview by Box_v11_medium_train_SIXray_OPIXray pliers Detection preview by DN_Medium_300_yolov8m_20t7_new No objects detected Detection preview by Segmentatation_v8_medium_train_250 No objects detected Detection preview by Segmentation_V11_large_300_train_300 No objects detected Detection preview by Segmentation_v8_large_300_train_300
Original Image: P06206.jpg
GT: pliers, wrench
pliers, wrench Detection preview by Box_v11_medium_train_SIXray_OPIXray No objects detected Detection preview by DN_Medium_300_yolov8m_20t7_new wrench Detection preview by Segmentatation_v8_medium_train_250 wrench Detection preview by Segmentation_V11_large_300_train_300 wrench Detection preview by Segmentation_v8_large_300_train_300
Original Image: P06207.jpg
GT: knife
knife Detection preview by Box_v11_medium_train_SIXray_OPIXray No objects detected Detection preview by DN_Medium_300_yolov8m_20t7_new No objects detected Detection preview by Segmentatation_v8_medium_train_250 No objects detected Detection preview by Segmentation_V11_large_300_train_300 No objects detected Detection preview by Segmentation_v8_large_300_train_300
Original Image: P06208.jpg
GT: scissors
scissor Detection preview by Box_v11_medium_train_SIXray_OPIXray scissor Detection preview by DN_Medium_300_yolov8m_20t7_new scissor Detection preview by Segmentatation_v8_medium_train_250 scissor Detection preview by Segmentation_V11_large_300_train_300 scissor Detection preview by Segmentation_v8_large_300_train_300
Original Image: P06209.jpg
GT: knife
knife Detection preview by Box_v11_medium_train_SIXray_OPIXray No objects detected Detection preview by DN_Medium_300_yolov8m_20t7_new knife Detection preview by Segmentatation_v8_medium_train_250 No objects detected Detection preview by Segmentation_V11_large_300_train_300 knife Detection preview by Segmentation_v8_large_300_train_300
Original Image: P06210.jpg
GT: wrench
wrench Detection preview by Box_v11_medium_train_SIXray_OPIXray No objects detected Detection preview by DN_Medium_300_yolov8m_20t7_new wrench Detection preview by Segmentatation_v8_medium_train_250 wrench Detection preview by Segmentation_V11_large_300_train_300 wrench Detection preview by Segmentation_v8_large_300_train_300
Original Image: P06211.jpg
GT: wrench
wrench Detection preview by Box_v11_medium_train_SIXray_OPIXray No objects detected Detection preview by DN_Medium_300_yolov8m_20t7_new wrench Detection preview by Segmentatation_v8_medium_train_250 wrench Detection preview by Segmentation_V11_large_300_train_300 wrench Detection preview by Segmentation_v8_large_300_train_300
Original Image: P06212.jpg
GT: wrench
wrench Detection preview by Box_v11_medium_train_SIXray_OPIXray No objects detected Detection preview by DN_Medium_300_yolov8m_20t7_new wrench Detection preview by Segmentatation_v8_medium_train_250 wrench Detection preview by Segmentation_V11_large_300_train_300 wrench Detection preview by Segmentation_v8_large_300_train_300
Original Image: P06213.jpg
GT: wrench
wrench Detection preview by Box_v11_medium_train_SIXray_OPIXray No objects detected Detection preview by DN_Medium_300_yolov8m_20t7_new wrench Detection preview by Segmentatation_v8_medium_train_250 wrench Detection preview by Segmentation_V11_large_300_train_300 wrench Detection preview by Segmentation_v8_large_300_train_300
Original Image: P06214.jpg
GT: wrench
wrench Detection preview by Box_v11_medium_train_SIXray_OPIXray No objects detected Detection preview by DN_Medium_300_yolov8m_20t7_new wrench Detection preview by Segmentatation_v8_medium_train_250 wrench Detection preview by Segmentation_V11_large_300_train_300 wrench Detection preview by Segmentation_v8_large_300_train_300
Original Image: P06215.jpg
GT: pliers
pliers Detection preview by Box_v11_medium_train_SIXray_OPIXray pliers Detection preview by DN_Medium_300_yolov8m_20t7_new No objects detected Detection preview by Segmentatation_v8_medium_train_250 No objects detected Detection preview by Segmentation_V11_large_300_train_300 No objects detected Detection preview by Segmentation_v8_large_300_train_300
Original Image: P06216.jpg
GT: pliers
pliers Detection preview by Box_v11_medium_train_SIXray_OPIXray pliers Detection preview by DN_Medium_300_yolov8m_20t7_new No objects detected Detection preview by Segmentatation_v8_medium_train_250 No objects detected Detection preview by Segmentation_V11_large_300_train_300 No objects detected Detection preview by Segmentation_v8_large_300_train_300
Original Image: P06217.jpg
GT: scissors
scissor Detection preview by Box_v11_medium_train_SIXray_OPIXray No objects detected Detection preview by DN_Medium_300_yolov8m_20t7_new scissor Detection preview by Segmentatation_v8_medium_train_250 scissor Detection preview by Segmentation_V11_large_300_train_300 scissor Detection preview by Segmentation_v8_large_300_train_300
Original Image: P06218.jpg
GT: scissors
scissor Detection preview by Box_v11_medium_train_SIXray_OPIXray No objects detected Detection preview by DN_Medium_300_yolov8m_20t7_new scissor Detection preview by Segmentatation_v8_medium_train_250 scissor Detection preview by Segmentation_V11_large_300_train_300 scissor Detection preview by Segmentation_v8_large_300_train_300
Original Image: P06219.jpg
GT: pliers, wrench
pliers, wrench Detection preview by Box_v11_medium_train_SIXray_OPIXray No objects detected Detection preview by DN_Medium_300_yolov8m_20t7_new wrench Detection preview by Segmentatation_v8_medium_train_250 wrench Detection preview by Segmentation_V11_large_300_train_300 wrench Detection preview by Segmentation_v8_large_300_train_300
Original Image: P06220.jpg
GT: pliers, wrench
pliers, wrench Detection preview by Box_v11_medium_train_SIXray_OPIXray No objects detected Detection preview by DN_Medium_300_yolov8m_20t7_new wrench Detection preview by Segmentatation_v8_medium_train_250 wrench Detection preview by Segmentation_V11_large_300_train_300 wrench Detection preview by Segmentation_v8_large_300_train_300
Original Image: P06221.jpg
GT: pliers, wrench
pliers, wrench Detection preview by Box_v11_medium_train_SIXray_OPIXray No objects detected Detection preview by DN_Medium_300_yolov8m_20t7_new wrench Detection preview by Segmentatation_v8_medium_train_250 wrench Detection preview by Segmentation_V11_large_300_train_300 wrench Detection preview by Segmentation_v8_large_300_train_300
Original Image: P06222.jpg
GT: pliers
pliers Detection preview by Box_v11_medium_train_SIXray_OPIXray No objects detected Detection preview by DN_Medium_300_yolov8m_20t7_new No objects detected Detection preview by Segmentatation_v8_medium_train_250 No objects detected Detection preview by Segmentation_V11_large_300_train_300 No objects detected Detection preview by Segmentation_v8_large_300_train_300
Original Image: P06223.jpg
GT: pliers
pliers Detection preview by Box_v11_medium_train_SIXray_OPIXray No objects detected Detection preview by DN_Medium_300_yolov8m_20t7_new No objects detected Detection preview by Segmentatation_v8_medium_train_250 No objects detected Detection preview by Segmentation_V11_large_300_train_300 No objects detected Detection preview by Segmentation_v8_large_300_train_300
Original Image: P06224.jpg
GT: pliers
pliers Detection preview by Box_v11_medium_train_SIXray_OPIXray No objects detected Detection preview by DN_Medium_300_yolov8m_20t7_new No objects detected Detection preview by Segmentatation_v8_medium_train_250 No objects detected Detection preview by Segmentation_V11_large_300_train_300 No objects detected Detection preview by Segmentation_v8_large_300_train_300
Original Image: P06225.jpg
GT: wrench
wrench Detection preview by Box_v11_medium_train_SIXray_OPIXray No objects detected Detection preview by DN_Medium_300_yolov8m_20t7_new wrench Detection preview by Segmentatation_v8_medium_train_250 wrench Detection preview by Segmentation_V11_large_300_train_300 wrench Detection preview by Segmentation_v8_large_300_train_300
Original Image: P06226.jpg
GT: wrench
wrench Detection preview by Box_v11_medium_train_SIXray_OPIXray No objects detected Detection preview by DN_Medium_300_yolov8m_20t7_new wrench Detection preview by Segmentatation_v8_medium_train_250 wrench Detection preview by Segmentation_V11_large_300_train_300 wrench Detection preview by Segmentation_v8_large_300_train_300
Original Image: P06227.jpg
GT: pliers
pliers Detection preview by Box_v11_medium_train_SIXray_OPIXray No objects detected Detection preview by DN_Medium_300_yolov8m_20t7_new No objects detected Detection preview by Segmentatation_v8_medium_train_250 No objects detected Detection preview by Segmentation_V11_large_300_train_300 No objects detected Detection preview by Segmentation_v8_large_300_train_300
Original Image: P06228.jpg
GT: pliers
pliers Detection preview by Box_v11_medium_train_SIXray_OPIXray No objects detected Detection preview by DN_Medium_300_yolov8m_20t7_new No objects detected Detection preview by Segmentatation_v8_medium_train_250 No objects detected Detection preview by Segmentation_V11_large_300_train_300 No objects detected Detection preview by Segmentation_v8_large_300_train_300
Original Image: P06229.jpg
GT: pliers
pliers Detection preview by Box_v11_medium_train_SIXray_OPIXray No objects detected Detection preview by DN_Medium_300_yolov8m_20t7_new No objects detected Detection preview by Segmentatation_v8_medium_train_250 No objects detected Detection preview by Segmentation_V11_large_300_train_300 No objects detected Detection preview by Segmentation_v8_large_300_train_300
Original Image: P06230.jpg
GT: pliers, wrench
pliers, wrench Detection preview by Box_v11_medium_train_SIXray_OPIXray pliers Detection preview by DN_Medium_300_yolov8m_20t7_new wrench Detection preview by Segmentatation_v8_medium_train_250 wrench Detection preview by Segmentation_V11_large_300_train_300 wrench Detection preview by Segmentation_v8_large_300_train_300
Original Image: P06231.jpg
GT: pliers, wrench
pliers, wrench Detection preview by Box_v11_medium_train_SIXray_OPIXray pliers Detection preview by DN_Medium_300_yolov8m_20t7_new wrench Detection preview by Segmentatation_v8_medium_train_250 wrench Detection preview by Segmentation_V11_large_300_train_300 wrench Detection preview by Segmentation_v8_large_300_train_300
Original Image: P06232.jpg
GT: pliers, wrench
pliers, wrench Detection preview by Box_v11_medium_train_SIXray_OPIXray pliers Detection preview by DN_Medium_300_yolov8m_20t7_new wrench Detection preview by Segmentatation_v8_medium_train_250 wrench Detection preview by Segmentation_V11_large_300_train_300 wrench Detection preview by Segmentation_v8_large_300_train_300
Original Image: P06233.jpg
GT: pliers
pliers Detection preview by Box_v11_medium_train_SIXray_OPIXray pliers Detection preview by DN_Medium_300_yolov8m_20t7_new No objects detected Detection preview by Segmentatation_v8_medium_train_250 No objects detected Detection preview by Segmentation_V11_large_300_train_300 No objects detected Detection preview by Segmentation_v8_large_300_train_300
Original Image: P06234.jpg
GT: pliers
pliers Detection preview by Box_v11_medium_train_SIXray_OPIXray pliers Detection preview by DN_Medium_300_yolov8m_20t7_new No objects detected Detection preview by Segmentatation_v8_medium_train_250 No objects detected Detection preview by Segmentation_V11_large_300_train_300 No objects detected Detection preview by Segmentation_v8_large_300_train_300
Original Image: P06235.jpg
GT: scissors
scissor Detection preview by Box_v11_medium_train_SIXray_OPIXray scissor Detection preview by DN_Medium_300_yolov8m_20t7_new scissor Detection preview by Segmentatation_v8_medium_train_250 scissor Detection preview by Segmentation_V11_large_300_train_300 scissor Detection preview by Segmentation_v8_large_300_train_300
Original Image: P06236.jpg
GT: scissors
scissor Detection preview by Box_v11_medium_train_SIXray_OPIXray No objects detected Detection preview by DN_Medium_300_yolov8m_20t7_new scissor Detection preview by Segmentatation_v8_medium_train_250 scissor Detection preview by Segmentation_V11_large_300_train_300 scissor Detection preview by Segmentation_v8_large_300_train_300
Original Image: P06237.jpg
GT: scissors
scissor Detection preview by Box_v11_medium_train_SIXray_OPIXray No objects detected Detection preview by DN_Medium_300_yolov8m_20t7_new No objects detected Detection preview by Segmentatation_v8_medium_train_250 No objects detected Detection preview by Segmentation_V11_large_300_train_300 scissor Detection preview by Segmentation_v8_large_300_train_300
Original Image: P06238.jpg
GT: pliers, wrench
pliers, wrench Detection preview by Box_v11_medium_train_SIXray_OPIXray pliers Detection preview by DN_Medium_300_yolov8m_20t7_new wrench Detection preview by Segmentatation_v8_medium_train_250 wrench Detection preview by Segmentation_V11_large_300_train_300 wrench Detection preview by Segmentation_v8_large_300_train_300
Original Image: P06239.jpg
GT: None
pliers Detection preview by Box_v11_medium_train_SIXray_OPIXray No objects detected Detection preview by DN_Medium_300_yolov8m_20t7_new No objects detected Detection preview by Segmentatation_v8_medium_train_250 No objects detected Detection preview by Segmentation_V11_large_300_train_300 No objects detected Detection preview by Segmentation_v8_large_300_train_300
Original Image: P06240.jpg
GT: None
pliers Detection preview by Box_v11_medium_train_SIXray_OPIXray No objects detected Detection preview by DN_Medium_300_yolov8m_20t7_new No objects detected Detection preview by Segmentatation_v8_medium_train_250 No objects detected Detection preview by Segmentation_V11_large_300_train_300 No objects detected Detection preview by Segmentation_v8_large_300_train_300
Original Image: P06241.jpg
GT: pliers, wrench
pliers, wrench Detection preview by Box_v11_medium_train_SIXray_OPIXray No objects detected Detection preview by DN_Medium_300_yolov8m_20t7_new wrench Detection preview by Segmentatation_v8_medium_train_250 wrench Detection preview by Segmentation_V11_large_300_train_300 wrench Detection preview by Segmentation_v8_large_300_train_300
Original Image: P06242.jpg
GT: pliers, wrench
pliers, wrench Detection preview by Box_v11_medium_train_SIXray_OPIXray No objects detected Detection preview by DN_Medium_300_yolov8m_20t7_new wrench Detection preview by Segmentatation_v8_medium_train_250 wrench Detection preview by Segmentation_V11_large_300_train_300 wrench Detection preview by Segmentation_v8_large_300_train_300
Original Image: P06243.jpg
GT: pliers, wrench
pliers, wrench Detection preview by Box_v11_medium_train_SIXray_OPIXray No objects detected Detection preview by DN_Medium_300_yolov8m_20t7_new wrench Detection preview by Segmentatation_v8_medium_train_250 wrench Detection preview by Segmentation_V11_large_300_train_300 wrench Detection preview by Segmentation_v8_large_300_train_300
Original Image: P06244.jpg
GT: pliers
pliers Detection preview by Box_v11_medium_train_SIXray_OPIXray No objects detected Detection preview by DN_Medium_300_yolov8m_20t7_new No objects detected Detection preview by Segmentatation_v8_medium_train_250 No objects detected Detection preview by Segmentation_V11_large_300_train_300 No objects detected Detection preview by Segmentation_v8_large_300_train_300
Original Image: P06245.jpg
GT: pliers
pliers Detection preview by Box_v11_medium_train_SIXray_OPIXray No objects detected Detection preview by DN_Medium_300_yolov8m_20t7_new No objects detected Detection preview by Segmentatation_v8_medium_train_250 No objects detected Detection preview by Segmentation_V11_large_300_train_300 No objects detected Detection preview by Segmentation_v8_large_300_train_300
Original Image: P06246.jpg
GT: scissors
scissor Detection preview by Box_v11_medium_train_SIXray_OPIXray No objects detected Detection preview by DN_Medium_300_yolov8m_20t7_new scissor Detection preview by Segmentatation_v8_medium_train_250 scissor Detection preview by Segmentation_V11_large_300_train_300 scissor Detection preview by Segmentation_v8_large_300_train_300
Original Image: P06247.jpg
GT: scissors
scissor Detection preview by Box_v11_medium_train_SIXray_OPIXray No objects detected Detection preview by DN_Medium_300_yolov8m_20t7_new scissor Detection preview by Segmentatation_v8_medium_train_250 scissor Detection preview by Segmentation_V11_large_300_train_300 scissor Detection preview by Segmentation_v8_large_300_train_300
Original Image: P06248.jpg
GT: scissors
scissor Detection preview by Box_v11_medium_train_SIXray_OPIXray No objects detected Detection preview by DN_Medium_300_yolov8m_20t7_new scissor Detection preview by Segmentatation_v8_medium_train_250 scissor Detection preview by Segmentation_V11_large_300_train_300 scissor Detection preview by Segmentation_v8_large_300_train_300
Original Image: P06249.jpg
GT: scissors
scissor Detection preview by Box_v11_medium_train_SIXray_OPIXray No objects detected Detection preview by DN_Medium_300_yolov8m_20t7_new scissor Detection preview by Segmentatation_v8_medium_train_250 scissor Detection preview by Segmentation_V11_large_300_train_300 scissor Detection preview by Segmentation_v8_large_300_train_300
Original Image: P06250.jpg
GT: pliers, wrench
pliers, wrench Detection preview by Box_v11_medium_train_SIXray_OPIXray No objects detected Detection preview by DN_Medium_300_yolov8m_20t7_new wrench Detection preview by Segmentatation_v8_medium_train_250 wrench Detection preview by Segmentation_V11_large_300_train_300 wrench Detection preview by Segmentation_v8_large_300_train_300
Original Image: P06251.jpg
GT: pliers, wrench
pliers, wrench Detection preview by Box_v11_medium_train_SIXray_OPIXray pliers Detection preview by DN_Medium_300_yolov8m_20t7_new wrench Detection preview by Segmentatation_v8_medium_train_250 wrench Detection preview by Segmentation_V11_large_300_train_300 wrench Detection preview by Segmentation_v8_large_300_train_300
Original Image: P06252.jpg
GT: pliers, wrench
pliers, wrench Detection preview by Box_v11_medium_train_SIXray_OPIXray No objects detected Detection preview by DN_Medium_300_yolov8m_20t7_new wrench Detection preview by Segmentatation_v8_medium_train_250 wrench Detection preview by Segmentation_V11_large_300_train_300 wrench Detection preview by Segmentation_v8_large_300_train_300
Original Image: P06253.jpg
GT: pliers, wrench
pliers, wrench Detection preview by Box_v11_medium_train_SIXray_OPIXray No objects detected Detection preview by DN_Medium_300_yolov8m_20t7_new wrench Detection preview by Segmentatation_v8_medium_train_250 wrench Detection preview by Segmentation_V11_large_300_train_300 wrench Detection preview by Segmentation_v8_large_300_train_300
Original Image: P06254.jpg
GT: pliers, wrench
pliers, wrench Detection preview by Box_v11_medium_train_SIXray_OPIXray No objects detected Detection preview by DN_Medium_300_yolov8m_20t7_new wrench Detection preview by Segmentatation_v8_medium_train_250 wrench Detection preview by Segmentation_V11_large_300_train_300 wrench Detection preview by Segmentation_v8_large_300_train_300
Original Image: P06255.jpg
GT: pliers, wrench
pliers, wrench Detection preview by Box_v11_medium_train_SIXray_OPIXray No objects detected Detection preview by DN_Medium_300_yolov8m_20t7_new wrench Detection preview by Segmentatation_v8_medium_train_250 wrench Detection preview by Segmentation_V11_large_300_train_300 wrench Detection preview by Segmentation_v8_large_300_train_300
Original Image: P06256.jpg
GT: pliers
pliers Detection preview by Box_v11_medium_train_SIXray_OPIXray No objects detected Detection preview by DN_Medium_300_yolov8m_20t7_new No objects detected Detection preview by Segmentatation_v8_medium_train_250 No objects detected Detection preview by Segmentation_V11_large_300_train_300 No objects detected Detection preview by Segmentation_v8_large_300_train_300
Original Image: P06257.jpg
GT: pliers
pliers Detection preview by Box_v11_medium_train_SIXray_OPIXray No objects detected Detection preview by DN_Medium_300_yolov8m_20t7_new No objects detected Detection preview by Segmentatation_v8_medium_train_250 No objects detected Detection preview by Segmentation_V11_large_300_train_300 No objects detected Detection preview by Segmentation_v8_large_300_train_300
Original Image: P06258.jpg
GT: pliers
pliers Detection preview by Box_v11_medium_train_SIXray_OPIXray No objects detected Detection preview by DN_Medium_300_yolov8m_20t7_new No objects detected Detection preview by Segmentatation_v8_medium_train_250 No objects detected Detection preview by Segmentation_V11_large_300_train_300 No objects detected Detection preview by Segmentation_v8_large_300_train_300
Original Image: P06259.jpg
GT: pliers
pliers Detection preview by Box_v11_medium_train_SIXray_OPIXray pliers Detection preview by DN_Medium_300_yolov8m_20t7_new No objects detected Detection preview by Segmentatation_v8_medium_train_250 No objects detected Detection preview by Segmentation_V11_large_300_train_300 No objects detected Detection preview by Segmentation_v8_large_300_train_300
Original Image: P06260.jpg
GT: pliers
pliers Detection preview by Box_v11_medium_train_SIXray_OPIXray pliers Detection preview by DN_Medium_300_yolov8m_20t7_new No objects detected Detection preview by Segmentatation_v8_medium_train_250 No objects detected Detection preview by Segmentation_V11_large_300_train_300 No objects detected Detection preview by Segmentation_v8_large_300_train_300
Original Image: P06261.jpg
GT: pliers
pliers Detection preview by Box_v11_medium_train_SIXray_OPIXray No objects detected Detection preview by DN_Medium_300_yolov8m_20t7_new No objects detected Detection preview by Segmentatation_v8_medium_train_250 No objects detected Detection preview by Segmentation_V11_large_300_train_300 No objects detected Detection preview by Segmentation_v8_large_300_train_300
Original Image: P06262.jpg
GT: pliers
pliers Detection preview by Box_v11_medium_train_SIXray_OPIXray pliers Detection preview by DN_Medium_300_yolov8m_20t7_new No objects detected Detection preview by Segmentatation_v8_medium_train_250 No objects detected Detection preview by Segmentation_V11_large_300_train_300 No objects detected Detection preview by Segmentation_v8_large_300_train_300
Original Image: P06263.jpg
GT: pliers
pliers Detection preview by Box_v11_medium_train_SIXray_OPIXray No objects detected Detection preview by DN_Medium_300_yolov8m_20t7_new No objects detected Detection preview by Segmentatation_v8_medium_train_250 No objects detected Detection preview by Segmentation_V11_large_300_train_300 No objects detected Detection preview by Segmentation_v8_large_300_train_300
Original Image: P06264.jpg
GT: wrench
wrench Detection preview by Box_v11_medium_train_SIXray_OPIXray No objects detected Detection preview by DN_Medium_300_yolov8m_20t7_new wrench Detection preview by Segmentatation_v8_medium_train_250 wrench Detection preview by Segmentation_V11_large_300_train_300 wrench Detection preview by Segmentation_v8_large_300_train_300
Original Image: P06265.jpg
GT: pliers
pliers Detection preview by Box_v11_medium_train_SIXray_OPIXray pliers Detection preview by DN_Medium_300_yolov8m_20t7_new No objects detected Detection preview by Segmentatation_v8_medium_train_250 No objects detected Detection preview by Segmentation_V11_large_300_train_300 No objects detected Detection preview by Segmentation_v8_large_300_train_300
Original Image: P06266.jpg
GT: pliers
pliers Detection preview by Box_v11_medium_train_SIXray_OPIXray pliers Detection preview by DN_Medium_300_yolov8m_20t7_new No objects detected Detection preview by Segmentatation_v8_medium_train_250 No objects detected Detection preview by Segmentation_V11_large_300_train_300 No objects detected Detection preview by Segmentation_v8_large_300_train_300
Original Image: P06267.jpg
GT: pliers
pliers Detection preview by Box_v11_medium_train_SIXray_OPIXray pliers Detection preview by DN_Medium_300_yolov8m_20t7_new No objects detected Detection preview by Segmentatation_v8_medium_train_250 No objects detected Detection preview by Segmentation_V11_large_300_train_300 No objects detected Detection preview by Segmentation_v8_large_300_train_300
Original Image: P06268.jpg
GT: scissors
scissor Detection preview by Box_v11_medium_train_SIXray_OPIXray No objects detected Detection preview by DN_Medium_300_yolov8m_20t7_new scissor Detection preview by Segmentatation_v8_medium_train_250 scissor Detection preview by Segmentation_V11_large_300_train_300 scissor Detection preview by Segmentation_v8_large_300_train_300
Original Image: P06269.jpg
GT: scissors
scissor Detection preview by Box_v11_medium_train_SIXray_OPIXray No objects detected Detection preview by DN_Medium_300_yolov8m_20t7_new scissor Detection preview by Segmentatation_v8_medium_train_250 scissor Detection preview by Segmentation_V11_large_300_train_300 scissor Detection preview by Segmentation_v8_large_300_train_300
Original Image: P06270.jpg
GT: knife
knife Detection preview by Box_v11_medium_train_SIXray_OPIXray No objects detected Detection preview by DN_Medium_300_yolov8m_20t7_new knife Detection preview by Segmentatation_v8_medium_train_250 knife Detection preview by Segmentation_V11_large_300_train_300 knife Detection preview by Segmentation_v8_large_300_train_300
Original Image: P06271.jpg
GT: pliers
pliers Detection preview by Box_v11_medium_train_SIXray_OPIXray No objects detected Detection preview by DN_Medium_300_yolov8m_20t7_new No objects detected Detection preview by Segmentatation_v8_medium_train_250 No objects detected Detection preview by Segmentation_V11_large_300_train_300 No objects detected Detection preview by Segmentation_v8_large_300_train_300
Original Image: P06272.jpg
GT: pliers
pliers Detection preview by Box_v11_medium_train_SIXray_OPIXray No objects detected Detection preview by DN_Medium_300_yolov8m_20t7_new No objects detected Detection preview by Segmentatation_v8_medium_train_250 No objects detected Detection preview by Segmentation_V11_large_300_train_300 No objects detected Detection preview by Segmentation_v8_large_300_train_300
Original Image: P06273.jpg
GT: pliers
pliers Detection preview by Box_v11_medium_train_SIXray_OPIXray No objects detected Detection preview by DN_Medium_300_yolov8m_20t7_new No objects detected Detection preview by Segmentatation_v8_medium_train_250 No objects detected Detection preview by Segmentation_V11_large_300_train_300 No objects detected Detection preview by Segmentation_v8_large_300_train_300
Original Image: P06274.jpg
GT: pliers
pliers Detection preview by Box_v11_medium_train_SIXray_OPIXray No objects detected Detection preview by DN_Medium_300_yolov8m_20t7_new No objects detected Detection preview by Segmentatation_v8_medium_train_250 No objects detected Detection preview by Segmentation_V11_large_300_train_300 No objects detected Detection preview by Segmentation_v8_large_300_train_300
Original Image: P06275.jpg
GT: pliers
pliers Detection preview by Box_v11_medium_train_SIXray_OPIXray No objects detected Detection preview by DN_Medium_300_yolov8m_20t7_new No objects detected Detection preview by Segmentatation_v8_medium_train_250 No objects detected Detection preview by Segmentation_V11_large_300_train_300 No objects detected Detection preview by Segmentation_v8_large_300_train_300
Original Image: P06276.jpg
GT: wrench
wrench Detection preview by Box_v11_medium_train_SIXray_OPIXray No objects detected Detection preview by DN_Medium_300_yolov8m_20t7_new wrench Detection preview by Segmentatation_v8_medium_train_250 wrench Detection preview by Segmentation_V11_large_300_train_300 wrench Detection preview by Segmentation_v8_large_300_train_300
Original Image: P06277.jpg
GT: wrench
wrench Detection preview by Box_v11_medium_train_SIXray_OPIXray No objects detected Detection preview by DN_Medium_300_yolov8m_20t7_new wrench Detection preview by Segmentatation_v8_medium_train_250 wrench Detection preview by Segmentation_V11_large_300_train_300 wrench Detection preview by Segmentation_v8_large_300_train_300
Original Image: P06278.jpg
GT: scissors
scissor Detection preview by Box_v11_medium_train_SIXray_OPIXray No objects detected Detection preview by DN_Medium_300_yolov8m_20t7_new scissor Detection preview by Segmentatation_v8_medium_train_250 scissor Detection preview by Segmentation_V11_large_300_train_300 scissor Detection preview by Segmentation_v8_large_300_train_300
Original Image: P06279.jpg
GT: scissors
scissor Detection preview by Box_v11_medium_train_SIXray_OPIXray No objects detected Detection preview by DN_Medium_300_yolov8m_20t7_new scissor Detection preview by Segmentatation_v8_medium_train_250 scissor Detection preview by Segmentation_V11_large_300_train_300 scissor Detection preview by Segmentation_v8_large_300_train_300
Original Image: P06280.jpg
GT: scissors
scissor Detection preview by Box_v11_medium_train_SIXray_OPIXray scissor Detection preview by DN_Medium_300_yolov8m_20t7_new scissor Detection preview by Segmentatation_v8_medium_train_250 scissor Detection preview by Segmentation_V11_large_300_train_300 scissor Detection preview by Segmentation_v8_large_300_train_300
Original Image: P06281.jpg
GT: scissors
scissor Detection preview by Box_v11_medium_train_SIXray_OPIXray scissor Detection preview by DN_Medium_300_yolov8m_20t7_new scissor Detection preview by Segmentatation_v8_medium_train_250 scissor Detection preview by Segmentation_V11_large_300_train_300 scissor Detection preview by Segmentation_v8_large_300_train_300
Original Image: P06282.jpg
GT: scissors
scissor Detection preview by Box_v11_medium_train_SIXray_OPIXray scissor Detection preview by DN_Medium_300_yolov8m_20t7_new scissor Detection preview by Segmentatation_v8_medium_train_250 scissor Detection preview by Segmentation_V11_large_300_train_300 scissor Detection preview by Segmentation_v8_large_300_train_300
Original Image: P06283.jpg
GT: scissors
scissor Detection preview by Box_v11_medium_train_SIXray_OPIXray scissor Detection preview by DN_Medium_300_yolov8m_20t7_new scissor Detection preview by Segmentatation_v8_medium_train_250 scissor Detection preview by Segmentation_V11_large_300_train_300 scissor Detection preview by Segmentation_v8_large_300_train_300
Original Image: P06284.jpg
GT: scissors
scissor Detection preview by Box_v11_medium_train_SIXray_OPIXray scissor Detection preview by DN_Medium_300_yolov8m_20t7_new scissor Detection preview by Segmentatation_v8_medium_train_250 scissor Detection preview by Segmentation_V11_large_300_train_300 scissor Detection preview by Segmentation_v8_large_300_train_300
Original Image: P06285.jpg
GT: scissors
scissor Detection preview by Box_v11_medium_train_SIXray_OPIXray scissor Detection preview by DN_Medium_300_yolov8m_20t7_new scissor Detection preview by Segmentatation_v8_medium_train_250 scissor Detection preview by Segmentation_V11_large_300_train_300 scissor Detection preview by Segmentation_v8_large_300_train_300
Original Image: P06286.jpg
GT: scissors
scissor Detection preview by Box_v11_medium_train_SIXray_OPIXray scissor Detection preview by DN_Medium_300_yolov8m_20t7_new scissor Detection preview by Segmentatation_v8_medium_train_250 scissor Detection preview by Segmentation_V11_large_300_train_300 scissor Detection preview by Segmentation_v8_large_300_train_300
Original Image: P06287.jpg
GT: pliers, wrench
pliers, wrench Detection preview by Box_v11_medium_train_SIXray_OPIXray No objects detected Detection preview by DN_Medium_300_yolov8m_20t7_new wrench Detection preview by Segmentatation_v8_medium_train_250 wrench Detection preview by Segmentation_V11_large_300_train_300 wrench Detection preview by Segmentation_v8_large_300_train_300
Original Image: P06288.jpg
GT: pliers, wrench
pliers, wrench Detection preview by Box_v11_medium_train_SIXray_OPIXray No objects detected Detection preview by DN_Medium_300_yolov8m_20t7_new wrench Detection preview by Segmentatation_v8_medium_train_250 wrench Detection preview by Segmentation_V11_large_300_train_300 wrench Detection preview by Segmentation_v8_large_300_train_300
Original Image: P06289.jpg
GT: scissors
scissor Detection preview by Box_v11_medium_train_SIXray_OPIXray No objects detected Detection preview by DN_Medium_300_yolov8m_20t7_new scissor Detection preview by Segmentatation_v8_medium_train_250 scissor Detection preview by Segmentation_V11_large_300_train_300 scissor Detection preview by Segmentation_v8_large_300_train_300
Original Image: P06290.jpg
GT: pliers, wrench
pliers, wrench Detection preview by Box_v11_medium_train_SIXray_OPIXray No objects detected Detection preview by DN_Medium_300_yolov8m_20t7_new wrench Detection preview by Segmentatation_v8_medium_train_250 wrench Detection preview by Segmentation_V11_large_300_train_300 wrench Detection preview by Segmentation_v8_large_300_train_300
Original Image: P06291.jpg
GT: pliers, wrench
pliers, wrench Detection preview by Box_v11_medium_train_SIXray_OPIXray No objects detected Detection preview by DN_Medium_300_yolov8m_20t7_new wrench Detection preview by Segmentatation_v8_medium_train_250 wrench Detection preview by Segmentation_V11_large_300_train_300 wrench Detection preview by Segmentation_v8_large_300_train_300
Original Image: P06292.jpg
GT: pliers, wrench
pliers, wrench Detection preview by Box_v11_medium_train_SIXray_OPIXray No objects detected Detection preview by DN_Medium_300_yolov8m_20t7_new wrench Detection preview by Segmentatation_v8_medium_train_250 wrench Detection preview by Segmentation_V11_large_300_train_300 wrench Detection preview by Segmentation_v8_large_300_train_300
Original Image: P06293.jpg
GT: pliers
pliers Detection preview by Box_v11_medium_train_SIXray_OPIXray No objects detected Detection preview by DN_Medium_300_yolov8m_20t7_new No objects detected Detection preview by Segmentatation_v8_medium_train_250 No objects detected Detection preview by Segmentation_V11_large_300_train_300 No objects detected Detection preview by Segmentation_v8_large_300_train_300
Original Image: P06294.jpg
GT: knife
knife Detection preview by Box_v11_medium_train_SIXray_OPIXray No objects detected Detection preview by DN_Medium_300_yolov8m_20t7_new scissor Detection preview by Segmentatation_v8_medium_train_250 scissor Detection preview by Segmentation_V11_large_300_train_300 scissor Detection preview by Segmentation_v8_large_300_train_300
Original Image: P06295.jpg
GT: wrench
wrench Detection preview by Box_v11_medium_train_SIXray_OPIXray No objects detected Detection preview by DN_Medium_300_yolov8m_20t7_new wrench Detection preview by Segmentatation_v8_medium_train_250 wrench Detection preview by Segmentation_V11_large_300_train_300 wrench Detection preview by Segmentation_v8_large_300_train_300
Original Image: P06296.jpg
GT: wrench
wrench Detection preview by Box_v11_medium_train_SIXray_OPIXray No objects detected Detection preview by DN_Medium_300_yolov8m_20t7_new wrench Detection preview by Segmentatation_v8_medium_train_250 wrench Detection preview by Segmentation_V11_large_300_train_300 wrench Detection preview by Segmentation_v8_large_300_train_300
Original Image: P06297.jpg
GT: wrench
wrench Detection preview by Box_v11_medium_train_SIXray_OPIXray No objects detected Detection preview by DN_Medium_300_yolov8m_20t7_new wrench Detection preview by Segmentatation_v8_medium_train_250 wrench Detection preview by Segmentation_V11_large_300_train_300 wrench Detection preview by Segmentation_v8_large_300_train_300
Original Image: P06298.jpg
GT: scissors
scissor Detection preview by Box_v11_medium_train_SIXray_OPIXray No objects detected Detection preview by DN_Medium_300_yolov8m_20t7_new scissor Detection preview by Segmentatation_v8_medium_train_250 scissor Detection preview by Segmentation_V11_large_300_train_300 scissor Detection preview by Segmentation_v8_large_300_train_300
Original Image: P06299.jpg
GT: pliers
pliers Detection preview by Box_v11_medium_train_SIXray_OPIXray No objects detected Detection preview by DN_Medium_300_yolov8m_20t7_new No objects detected Detection preview by Segmentatation_v8_medium_train_250 No objects detected Detection preview by Segmentation_V11_large_300_train_300 No objects detected Detection preview by Segmentation_v8_large_300_train_300
Original Image: P06300.jpg
GT: pliers
pliers Detection preview by Box_v11_medium_train_SIXray_OPIXray No objects detected Detection preview by DN_Medium_300_yolov8m_20t7_new No objects detected Detection preview by Segmentatation_v8_medium_train_250 No objects detected Detection preview by Segmentation_V11_large_300_train_300 No objects detected Detection preview by Segmentation_v8_large_300_train_300
Original Image: P06301.jpg
GT: pliers
pliers Detection preview by Box_v11_medium_train_SIXray_OPIXray pliers Detection preview by DN_Medium_300_yolov8m_20t7_new No objects detected Detection preview by Segmentatation_v8_medium_train_250 No objects detected Detection preview by Segmentation_V11_large_300_train_300 No objects detected Detection preview by Segmentation_v8_large_300_train_300
Original Image: P06302.jpg
GT: scissors
scissor Detection preview by Box_v11_medium_train_SIXray_OPIXray No objects detected Detection preview by DN_Medium_300_yolov8m_20t7_new scissor Detection preview by Segmentatation_v8_medium_train_250 scissor Detection preview by Segmentation_V11_large_300_train_300 scissor Detection preview by Segmentation_v8_large_300_train_300
Original Image: P06303.jpg
GT: scissors
scissor Detection preview by Box_v11_medium_train_SIXray_OPIXray No objects detected Detection preview by DN_Medium_300_yolov8m_20t7_new scissor Detection preview by Segmentatation_v8_medium_train_250 scissor Detection preview by Segmentation_V11_large_300_train_300 scissor Detection preview by Segmentation_v8_large_300_train_300
Original Image: P06304.jpg
GT: pliers, wrench
pliers, wrench Detection preview by Box_v11_medium_train_SIXray_OPIXray No objects detected Detection preview by DN_Medium_300_yolov8m_20t7_new wrench Detection preview by Segmentatation_v8_medium_train_250 wrench Detection preview by Segmentation_V11_large_300_train_300 wrench Detection preview by Segmentation_v8_large_300_train_300
Original Image: P06305.jpg
GT: pliers, wrench
pliers, wrench Detection preview by Box_v11_medium_train_SIXray_OPIXray No objects detected Detection preview by DN_Medium_300_yolov8m_20t7_new wrench Detection preview by Segmentatation_v8_medium_train_250 wrench Detection preview by Segmentation_V11_large_300_train_300 wrench Detection preview by Segmentation_v8_large_300_train_300
Original Image: P06306.jpg
GT: wrench
wrench Detection preview by Box_v11_medium_train_SIXray_OPIXray No objects detected Detection preview by DN_Medium_300_yolov8m_20t7_new wrench Detection preview by Segmentatation_v8_medium_train_250 wrench Detection preview by Segmentation_V11_large_300_train_300 wrench Detection preview by Segmentation_v8_large_300_train_300
Original Image: P06307.jpg
GT: wrench
wrench Detection preview by Box_v11_medium_train_SIXray_OPIXray No objects detected Detection preview by DN_Medium_300_yolov8m_20t7_new wrench Detection preview by Segmentatation_v8_medium_train_250 wrench Detection preview by Segmentation_V11_large_300_train_300 wrench Detection preview by Segmentation_v8_large_300_train_300
Original Image: P06308.jpg
GT: pliers
pliers Detection preview by Box_v11_medium_train_SIXray_OPIXray pliers Detection preview by DN_Medium_300_yolov8m_20t7_new wrench Detection preview by Segmentatation_v8_medium_train_250 wrench Detection preview by Segmentation_V11_large_300_train_300 No objects detected Detection preview by Segmentation_v8_large_300_train_300
Original Image: P06309.jpg
GT: pliers
pliers Detection preview by Box_v11_medium_train_SIXray_OPIXray No objects detected Detection preview by DN_Medium_300_yolov8m_20t7_new No objects detected Detection preview by Segmentatation_v8_medium_train_250 wrench Detection preview by Segmentation_V11_large_300_train_300 wrench Detection preview by Segmentation_v8_large_300_train_300
Original Image: P06310.jpg
GT: pliers
pliers Detection preview by Box_v11_medium_train_SIXray_OPIXray No objects detected Detection preview by DN_Medium_300_yolov8m_20t7_new No objects detected Detection preview by Segmentatation_v8_medium_train_250 No objects detected Detection preview by Segmentation_V11_large_300_train_300 No objects detected Detection preview by Segmentation_v8_large_300_train_300
Original Image: P06311.jpg
GT: pliers
pliers Detection preview by Box_v11_medium_train_SIXray_OPIXray No objects detected Detection preview by DN_Medium_300_yolov8m_20t7_new No objects detected Detection preview by Segmentatation_v8_medium_train_250 No objects detected Detection preview by Segmentation_V11_large_300_train_300 No objects detected Detection preview by Segmentation_v8_large_300_train_300
Original Image: P06312.jpg
GT: pliers
pliers Detection preview by Box_v11_medium_train_SIXray_OPIXray No objects detected Detection preview by DN_Medium_300_yolov8m_20t7_new No objects detected Detection preview by Segmentatation_v8_medium_train_250 No objects detected Detection preview by Segmentation_V11_large_300_train_300 No objects detected Detection preview by Segmentation_v8_large_300_train_300
Original Image: P06313.jpg
GT: pliers
pliers Detection preview by Box_v11_medium_train_SIXray_OPIXray No objects detected Detection preview by DN_Medium_300_yolov8m_20t7_new No objects detected Detection preview by Segmentatation_v8_medium_train_250 No objects detected Detection preview by Segmentation_V11_large_300_train_300 No objects detected Detection preview by Segmentation_v8_large_300_train_300
Original Image: P06314.jpg
GT: pliers
pliers Detection preview by Box_v11_medium_train_SIXray_OPIXray No objects detected Detection preview by DN_Medium_300_yolov8m_20t7_new No objects detected Detection preview by Segmentatation_v8_medium_train_250 No objects detected Detection preview by Segmentation_V11_large_300_train_300 No objects detected Detection preview by Segmentation_v8_large_300_train_300
Original Image: P06315.jpg
GT: pliers
pliers Detection preview by Box_v11_medium_train_SIXray_OPIXray No objects detected Detection preview by DN_Medium_300_yolov8m_20t7_new No objects detected Detection preview by Segmentatation_v8_medium_train_250 No objects detected Detection preview by Segmentation_V11_large_300_train_300 No objects detected Detection preview by Segmentation_v8_large_300_train_300
Original Image: P06316.jpg
GT: pliers
pliers Detection preview by Box_v11_medium_train_SIXray_OPIXray No objects detected Detection preview by DN_Medium_300_yolov8m_20t7_new No objects detected Detection preview by Segmentatation_v8_medium_train_250 No objects detected Detection preview by Segmentation_V11_large_300_train_300 No objects detected Detection preview by Segmentation_v8_large_300_train_300
Original Image: P06317.jpg
GT: wrench
wrench Detection preview by Box_v11_medium_train_SIXray_OPIXray No objects detected Detection preview by DN_Medium_300_yolov8m_20t7_new wrench Detection preview by Segmentatation_v8_medium_train_250 wrench Detection preview by Segmentation_V11_large_300_train_300 wrench Detection preview by Segmentation_v8_large_300_train_300
Original Image: P06318.jpg
GT: wrench
wrench Detection preview by Box_v11_medium_train_SIXray_OPIXray No objects detected Detection preview by DN_Medium_300_yolov8m_20t7_new wrench Detection preview by Segmentatation_v8_medium_train_250 wrench Detection preview by Segmentation_V11_large_300_train_300 wrench Detection preview by Segmentation_v8_large_300_train_300
Original Image: P06319.jpg
GT: wrench
wrench Detection preview by Box_v11_medium_train_SIXray_OPIXray No objects detected Detection preview by DN_Medium_300_yolov8m_20t7_new wrench Detection preview by Segmentatation_v8_medium_train_250 wrench Detection preview by Segmentation_V11_large_300_train_300 wrench Detection preview by Segmentation_v8_large_300_train_300
Original Image: P06320.jpg
GT: wrench
wrench Detection preview by Box_v11_medium_train_SIXray_OPIXray No objects detected Detection preview by DN_Medium_300_yolov8m_20t7_new wrench Detection preview by Segmentatation_v8_medium_train_250 wrench Detection preview by Segmentation_V11_large_300_train_300 wrench Detection preview by Segmentation_v8_large_300_train_300
Original Image: P06321.jpg
GT: scissors
scissor Detection preview by Box_v11_medium_train_SIXray_OPIXray scissor Detection preview by DN_Medium_300_yolov8m_20t7_new scissor Detection preview by Segmentatation_v8_medium_train_250 scissor Detection preview by Segmentation_V11_large_300_train_300 scissor Detection preview by Segmentation_v8_large_300_train_300
Original Image: P06322.jpg
GT: wrench
pliers, wrench Detection preview by Box_v11_medium_train_SIXray_OPIXray No objects detected Detection preview by DN_Medium_300_yolov8m_20t7_new wrench Detection preview by Segmentatation_v8_medium_train_250 wrench Detection preview by Segmentation_V11_large_300_train_300 wrench Detection preview by Segmentation_v8_large_300_train_300
Original Image: P06323.jpg
GT: scissors
scissor Detection preview by Box_v11_medium_train_SIXray_OPIXray No objects detected Detection preview by DN_Medium_300_yolov8m_20t7_new scissor Detection preview by Segmentatation_v8_medium_train_250 scissor Detection preview by Segmentation_V11_large_300_train_300 scissor Detection preview by Segmentation_v8_large_300_train_300
Original Image: P06324.jpg
GT: scissors
scissor Detection preview by Box_v11_medium_train_SIXray_OPIXray scissor Detection preview by DN_Medium_300_yolov8m_20t7_new scissor Detection preview by Segmentatation_v8_medium_train_250 scissor Detection preview by Segmentation_V11_large_300_train_300 scissor Detection preview by Segmentation_v8_large_300_train_300
Original Image: P06325.jpg
GT: pliers, wrench
pliers, wrench Detection preview by Box_v11_medium_train_SIXray_OPIXray No objects detected Detection preview by DN_Medium_300_yolov8m_20t7_new wrench Detection preview by Segmentatation_v8_medium_train_250 wrench Detection preview by Segmentation_V11_large_300_train_300 wrench Detection preview by Segmentation_v8_large_300_train_300
Original Image: P06326.jpg
GT: pliers, wrench
pliers, wrench Detection preview by Box_v11_medium_train_SIXray_OPIXray No objects detected Detection preview by DN_Medium_300_yolov8m_20t7_new wrench Detection preview by Segmentatation_v8_medium_train_250 wrench Detection preview by Segmentation_V11_large_300_train_300 wrench Detection preview by Segmentation_v8_large_300_train_300
Original Image: P06327.jpg
GT: pliers, wrench
pliers, wrench Detection preview by Box_v11_medium_train_SIXray_OPIXray No objects detected Detection preview by DN_Medium_300_yolov8m_20t7_new wrench Detection preview by Segmentatation_v8_medium_train_250 wrench Detection preview by Segmentation_V11_large_300_train_300 wrench Detection preview by Segmentation_v8_large_300_train_300
Original Image: P06328.jpg
GT: pliers, wrench
pliers, wrench Detection preview by Box_v11_medium_train_SIXray_OPIXray No objects detected Detection preview by DN_Medium_300_yolov8m_20t7_new wrench Detection preview by Segmentatation_v8_medium_train_250 wrench Detection preview by Segmentation_V11_large_300_train_300 wrench Detection preview by Segmentation_v8_large_300_train_300
Original Image: P06329.jpg
GT: knife
knife Detection preview by Box_v11_medium_train_SIXray_OPIXray No objects detected Detection preview by DN_Medium_300_yolov8m_20t7_new knife Detection preview by Segmentatation_v8_medium_train_250 knife Detection preview by Segmentation_V11_large_300_train_300 knife Detection preview by Segmentation_v8_large_300_train_300
Original Image: P06330.jpg
GT: knife
knife Detection preview by Box_v11_medium_train_SIXray_OPIXray No objects detected Detection preview by DN_Medium_300_yolov8m_20t7_new knife Detection preview by Segmentatation_v8_medium_train_250 knife Detection preview by Segmentation_V11_large_300_train_300 knife Detection preview by Segmentation_v8_large_300_train_300
Original Image: P06331.jpg
GT: pliers, wrench
pliers, wrench Detection preview by Box_v11_medium_train_SIXray_OPIXray No objects detected Detection preview by DN_Medium_300_yolov8m_20t7_new wrench Detection preview by Segmentatation_v8_medium_train_250 wrench Detection preview by Segmentation_V11_large_300_train_300 wrench Detection preview by Segmentation_v8_large_300_train_300
Original Image: P06332.jpg
GT: pliers, wrench
pliers, wrench Detection preview by Box_v11_medium_train_SIXray_OPIXray No objects detected Detection preview by DN_Medium_300_yolov8m_20t7_new wrench Detection preview by Segmentatation_v8_medium_train_250 wrench Detection preview by Segmentation_V11_large_300_train_300 wrench Detection preview by Segmentation_v8_large_300_train_300
Original Image: P06333.jpg
GT: scissors
scissor Detection preview by Box_v11_medium_train_SIXray_OPIXray No objects detected Detection preview by DN_Medium_300_yolov8m_20t7_new scissor Detection preview by Segmentatation_v8_medium_train_250 scissor Detection preview by Segmentation_V11_large_300_train_300 scissor Detection preview by Segmentation_v8_large_300_train_300
Original Image: P06334.jpg
GT: scissors
scissor Detection preview by Box_v11_medium_train_SIXray_OPIXray No objects detected Detection preview by DN_Medium_300_yolov8m_20t7_new scissor Detection preview by Segmentatation_v8_medium_train_250 scissor Detection preview by Segmentation_V11_large_300_train_300 scissor Detection preview by Segmentation_v8_large_300_train_300
Original Image: P06335.jpg
GT: scissors
scissor Detection preview by Box_v11_medium_train_SIXray_OPIXray No objects detected Detection preview by DN_Medium_300_yolov8m_20t7_new scissor Detection preview by Segmentatation_v8_medium_train_250 scissor Detection preview by Segmentation_V11_large_300_train_300 scissor Detection preview by Segmentation_v8_large_300_train_300
Original Image: P06336.jpg
GT: scissors
scissor Detection preview by Box_v11_medium_train_SIXray_OPIXray No objects detected Detection preview by DN_Medium_300_yolov8m_20t7_new scissor Detection preview by Segmentatation_v8_medium_train_250 scissor Detection preview by Segmentation_V11_large_300_train_300 scissor Detection preview by Segmentation_v8_large_300_train_300
Original Image: P06337.jpg
GT: pliers
pliers Detection preview by Box_v11_medium_train_SIXray_OPIXray No objects detected Detection preview by DN_Medium_300_yolov8m_20t7_new No objects detected Detection preview by Segmentatation_v8_medium_train_250 No objects detected Detection preview by Segmentation_V11_large_300_train_300 No objects detected Detection preview by Segmentation_v8_large_300_train_300
Original Image: P06338.jpg
GT: pliers
pliers Detection preview by Box_v11_medium_train_SIXray_OPIXray No objects detected Detection preview by DN_Medium_300_yolov8m_20t7_new No objects detected Detection preview by Segmentatation_v8_medium_train_250 No objects detected Detection preview by Segmentation_V11_large_300_train_300 No objects detected Detection preview by Segmentation_v8_large_300_train_300
Original Image: P06339.jpg
GT: pliers
pliers Detection preview by Box_v11_medium_train_SIXray_OPIXray No objects detected Detection preview by DN_Medium_300_yolov8m_20t7_new No objects detected Detection preview by Segmentatation_v8_medium_train_250 No objects detected Detection preview by Segmentation_V11_large_300_train_300 No objects detected Detection preview by Segmentation_v8_large_300_train_300
Original Image: P06340.jpg
GT: pliers
pliers Detection preview by Box_v11_medium_train_SIXray_OPIXray No objects detected Detection preview by DN_Medium_300_yolov8m_20t7_new No objects detected Detection preview by Segmentatation_v8_medium_train_250 No objects detected Detection preview by Segmentation_V11_large_300_train_300 No objects detected Detection preview by Segmentation_v8_large_300_train_300
Original Image: P06341.jpg
GT: pliers
pliers Detection preview by Box_v11_medium_train_SIXray_OPIXray No objects detected Detection preview by DN_Medium_300_yolov8m_20t7_new No objects detected Detection preview by Segmentatation_v8_medium_train_250 No objects detected Detection preview by Segmentation_V11_large_300_train_300 No objects detected Detection preview by Segmentation_v8_large_300_train_300
Original Image: P06342.jpg
GT: pliers
pliers Detection preview by Box_v11_medium_train_SIXray_OPIXray No objects detected Detection preview by DN_Medium_300_yolov8m_20t7_new No objects detected Detection preview by Segmentatation_v8_medium_train_250 No objects detected Detection preview by Segmentation_V11_large_300_train_300 No objects detected Detection preview by Segmentation_v8_large_300_train_300
Original Image: P06343.jpg
GT: pliers
pliers Detection preview by Box_v11_medium_train_SIXray_OPIXray pliers Detection preview by DN_Medium_300_yolov8m_20t7_new No objects detected Detection preview by Segmentatation_v8_medium_train_250 No objects detected Detection preview by Segmentation_V11_large_300_train_300 No objects detected Detection preview by Segmentation_v8_large_300_train_300
Original Image: P06344.jpg
GT: pliers
pliers Detection preview by Box_v11_medium_train_SIXray_OPIXray pliers Detection preview by DN_Medium_300_yolov8m_20t7_new No objects detected Detection preview by Segmentatation_v8_medium_train_250 No objects detected Detection preview by Segmentation_V11_large_300_train_300 No objects detected Detection preview by Segmentation_v8_large_300_train_300
Original Image: P06345.jpg
GT: pliers
pliers Detection preview by Box_v11_medium_train_SIXray_OPIXray pliers Detection preview by DN_Medium_300_yolov8m_20t7_new No objects detected Detection preview by Segmentatation_v8_medium_train_250 No objects detected Detection preview by Segmentation_V11_large_300_train_300 No objects detected Detection preview by Segmentation_v8_large_300_train_300
Original Image: P06346.jpg
GT: pliers
pliers Detection preview by Box_v11_medium_train_SIXray_OPIXray No objects detected Detection preview by DN_Medium_300_yolov8m_20t7_new No objects detected Detection preview by Segmentatation_v8_medium_train_250 No objects detected Detection preview by Segmentation_V11_large_300_train_300 No objects detected Detection preview by Segmentation_v8_large_300_train_300
Original Image: P06347.jpg
GT: pliers
pliers Detection preview by Box_v11_medium_train_SIXray_OPIXray No objects detected Detection preview by DN_Medium_300_yolov8m_20t7_new No objects detected Detection preview by Segmentatation_v8_medium_train_250 No objects detected Detection preview by Segmentation_V11_large_300_train_300 No objects detected Detection preview by Segmentation_v8_large_300_train_300
Original Image: P06348.jpg
GT: knife
knife Detection preview by Box_v11_medium_train_SIXray_OPIXray No objects detected Detection preview by DN_Medium_300_yolov8m_20t7_new knife Detection preview by Segmentatation_v8_medium_train_250 knife Detection preview by Segmentation_V11_large_300_train_300 knife Detection preview by Segmentation_v8_large_300_train_300
Original Image: P06349.jpg
GT: knife
knife Detection preview by Box_v11_medium_train_SIXray_OPIXray No objects detected Detection preview by DN_Medium_300_yolov8m_20t7_new knife Detection preview by Segmentatation_v8_medium_train_250 knife Detection preview by Segmentation_V11_large_300_train_300 knife Detection preview by Segmentation_v8_large_300_train_300
Original Image: P06350.jpg
GT: knife
knife Detection preview by Box_v11_medium_train_SIXray_OPIXray No objects detected Detection preview by DN_Medium_300_yolov8m_20t7_new knife Detection preview by Segmentatation_v8_medium_train_250 knife Detection preview by Segmentation_V11_large_300_train_300 knife Detection preview by Segmentation_v8_large_300_train_300
Original Image: P06351.jpg
GT: knife
knife Detection preview by Box_v11_medium_train_SIXray_OPIXray No objects detected Detection preview by DN_Medium_300_yolov8m_20t7_new knife Detection preview by Segmentatation_v8_medium_train_250 knife Detection preview by Segmentation_V11_large_300_train_300 knife Detection preview by Segmentation_v8_large_300_train_300
Original Image: P06352.jpg
GT: knife
knife Detection preview by Box_v11_medium_train_SIXray_OPIXray No objects detected Detection preview by DN_Medium_300_yolov8m_20t7_new knife Detection preview by Segmentatation_v8_medium_train_250 knife Detection preview by Segmentation_V11_large_300_train_300 knife Detection preview by Segmentation_v8_large_300_train_300
Original Image: P06353.jpg
GT: scissors
scissor Detection preview by Box_v11_medium_train_SIXray_OPIXray No objects detected Detection preview by DN_Medium_300_yolov8m_20t7_new scissor Detection preview by Segmentatation_v8_medium_train_250 scissor Detection preview by Segmentation_V11_large_300_train_300 scissor Detection preview by Segmentation_v8_large_300_train_300
Original Image: P06354.jpg
GT: scissors
scissor Detection preview by Box_v11_medium_train_SIXray_OPIXray No objects detected Detection preview by DN_Medium_300_yolov8m_20t7_new scissor Detection preview by Segmentatation_v8_medium_train_250 scissor Detection preview by Segmentation_V11_large_300_train_300 scissor Detection preview by Segmentation_v8_large_300_train_300
Original Image: P06355.jpg
GT: scissors
scissor Detection preview by Box_v11_medium_train_SIXray_OPIXray No objects detected Detection preview by DN_Medium_300_yolov8m_20t7_new scissor Detection preview by Segmentatation_v8_medium_train_250 scissor Detection preview by Segmentation_V11_large_300_train_300 scissor Detection preview by Segmentation_v8_large_300_train_300
Original Image: P06356.jpg
GT: pliers, wrench
pliers, wrench Detection preview by Box_v11_medium_train_SIXray_OPIXray No objects detected Detection preview by DN_Medium_300_yolov8m_20t7_new wrench Detection preview by Segmentatation_v8_medium_train_250 wrench Detection preview by Segmentation_V11_large_300_train_300 wrench Detection preview by Segmentation_v8_large_300_train_300
Original Image: P06357.jpg
GT: pliers, wrench
pliers, wrench Detection preview by Box_v11_medium_train_SIXray_OPIXray No objects detected Detection preview by DN_Medium_300_yolov8m_20t7_new wrench Detection preview by Segmentatation_v8_medium_train_250 wrench Detection preview by Segmentation_V11_large_300_train_300 wrench Detection preview by Segmentation_v8_large_300_train_300
Original Image: P06358.jpg
GT: pliers, wrench
pliers, wrench Detection preview by Box_v11_medium_train_SIXray_OPIXray No objects detected Detection preview by DN_Medium_300_yolov8m_20t7_new wrench Detection preview by Segmentatation_v8_medium_train_250 wrench Detection preview by Segmentation_V11_large_300_train_300 wrench Detection preview by Segmentation_v8_large_300_train_300
Original Image: P06359.jpg
GT: pliers
pliers Detection preview by Box_v11_medium_train_SIXray_OPIXray No objects detected Detection preview by DN_Medium_300_yolov8m_20t7_new No objects detected Detection preview by Segmentatation_v8_medium_train_250 No objects detected Detection preview by Segmentation_V11_large_300_train_300 No objects detected Detection preview by Segmentation_v8_large_300_train_300
Original Image: P06360.jpg
GT: pliers
pliers Detection preview by Box_v11_medium_train_SIXray_OPIXray No objects detected Detection preview by DN_Medium_300_yolov8m_20t7_new No objects detected Detection preview by Segmentatation_v8_medium_train_250 No objects detected Detection preview by Segmentation_V11_large_300_train_300 No objects detected Detection preview by Segmentation_v8_large_300_train_300
Original Image: P06361.jpg
GT: pliers
pliers Detection preview by Box_v11_medium_train_SIXray_OPIXray No objects detected Detection preview by DN_Medium_300_yolov8m_20t7_new No objects detected Detection preview by Segmentatation_v8_medium_train_250 No objects detected Detection preview by Segmentation_V11_large_300_train_300 No objects detected Detection preview by Segmentation_v8_large_300_train_300
Original Image: P06362.jpg
GT: scissors
scissor Detection preview by Box_v11_medium_train_SIXray_OPIXray scissor Detection preview by DN_Medium_300_yolov8m_20t7_new scissor Detection preview by Segmentatation_v8_medium_train_250 scissor Detection preview by Segmentation_V11_large_300_train_300 scissor Detection preview by Segmentation_v8_large_300_train_300
Original Image: P06363.jpg
GT: scissors
scissor Detection preview by Box_v11_medium_train_SIXray_OPIXray scissor Detection preview by DN_Medium_300_yolov8m_20t7_new scissor Detection preview by Segmentatation_v8_medium_train_250 scissor Detection preview by Segmentation_V11_large_300_train_300 scissor Detection preview by Segmentation_v8_large_300_train_300
Original Image: P06364.jpg
GT: scissors
scissor Detection preview by Box_v11_medium_train_SIXray_OPIXray scissor Detection preview by DN_Medium_300_yolov8m_20t7_new scissor Detection preview by Segmentatation_v8_medium_train_250 scissor Detection preview by Segmentation_V11_large_300_train_300 scissor Detection preview by Segmentation_v8_large_300_train_300
Original Image: P06365.jpg
GT: scissors
scissor Detection preview by Box_v11_medium_train_SIXray_OPIXray scissor Detection preview by DN_Medium_300_yolov8m_20t7_new scissor Detection preview by Segmentatation_v8_medium_train_250 scissor Detection preview by Segmentation_V11_large_300_train_300 scissor Detection preview by Segmentation_v8_large_300_train_300
Original Image: P06366.jpg
GT: pliers, wrench
pliers, wrench Detection preview by Box_v11_medium_train_SIXray_OPIXray No objects detected Detection preview by DN_Medium_300_yolov8m_20t7_new wrench Detection preview by Segmentatation_v8_medium_train_250 wrench Detection preview by Segmentation_V11_large_300_train_300 wrench Detection preview by Segmentation_v8_large_300_train_300
Original Image: P06367.jpg
GT: pliers, wrench
pliers, wrench Detection preview by Box_v11_medium_train_SIXray_OPIXray No objects detected Detection preview by DN_Medium_300_yolov8m_20t7_new wrench Detection preview by Segmentatation_v8_medium_train_250 wrench Detection preview by Segmentation_V11_large_300_train_300 wrench Detection preview by Segmentation_v8_large_300_train_300
Original Image: P06368.jpg
GT: pliers
pliers Detection preview by Box_v11_medium_train_SIXray_OPIXray No objects detected Detection preview by DN_Medium_300_yolov8m_20t7_new No objects detected Detection preview by Segmentatation_v8_medium_train_250 No objects detected Detection preview by Segmentation_V11_large_300_train_300 No objects detected Detection preview by Segmentation_v8_large_300_train_300
Original Image: P06369.jpg
GT: pliers
pliers Detection preview by Box_v11_medium_train_SIXray_OPIXray No objects detected Detection preview by DN_Medium_300_yolov8m_20t7_new No objects detected Detection preview by Segmentatation_v8_medium_train_250 No objects detected Detection preview by Segmentation_V11_large_300_train_300 No objects detected Detection preview by Segmentation_v8_large_300_train_300
Original Image: P06370.jpg
GT: wrench
wrench Detection preview by Box_v11_medium_train_SIXray_OPIXray No objects detected Detection preview by DN_Medium_300_yolov8m_20t7_new wrench Detection preview by Segmentatation_v8_medium_train_250 wrench Detection preview by Segmentation_V11_large_300_train_300 wrench Detection preview by Segmentation_v8_large_300_train_300
Original Image: P06371.jpg
GT: wrench
wrench Detection preview by Box_v11_medium_train_SIXray_OPIXray No objects detected Detection preview by DN_Medium_300_yolov8m_20t7_new wrench Detection preview by Segmentatation_v8_medium_train_250 wrench Detection preview by Segmentation_V11_large_300_train_300 wrench Detection preview by Segmentation_v8_large_300_train_300
Original Image: P06372.jpg
GT: wrench
wrench Detection preview by Box_v11_medium_train_SIXray_OPIXray No objects detected Detection preview by DN_Medium_300_yolov8m_20t7_new wrench Detection preview by Segmentatation_v8_medium_train_250 wrench Detection preview by Segmentation_V11_large_300_train_300 wrench Detection preview by Segmentation_v8_large_300_train_300
Original Image: P06373.jpg
GT: pliers, wrench
pliers, wrench Detection preview by Box_v11_medium_train_SIXray_OPIXray No objects detected Detection preview by DN_Medium_300_yolov8m_20t7_new wrench Detection preview by Segmentatation_v8_medium_train_250 wrench Detection preview by Segmentation_V11_large_300_train_300 wrench Detection preview by Segmentation_v8_large_300_train_300
Original Image: P06374.jpg
GT: pliers, wrench
pliers, wrench Detection preview by Box_v11_medium_train_SIXray_OPIXray No objects detected Detection preview by DN_Medium_300_yolov8m_20t7_new wrench Detection preview by Segmentatation_v8_medium_train_250 wrench Detection preview by Segmentation_V11_large_300_train_300 wrench Detection preview by Segmentation_v8_large_300_train_300
Original Image: P06375.jpg
GT: scissors
scissor Detection preview by Box_v11_medium_train_SIXray_OPIXray scissor Detection preview by DN_Medium_300_yolov8m_20t7_new scissor Detection preview by Segmentatation_v8_medium_train_250 scissor Detection preview by Segmentation_V11_large_300_train_300 scissor Detection preview by Segmentation_v8_large_300_train_300
Original Image: P06376.jpg
GT: scissors
scissor Detection preview by Box_v11_medium_train_SIXray_OPIXray scissor Detection preview by DN_Medium_300_yolov8m_20t7_new scissor Detection preview by Segmentatation_v8_medium_train_250 scissor Detection preview by Segmentation_V11_large_300_train_300 scissor Detection preview by Segmentation_v8_large_300_train_300
Original Image: P06377.jpg
GT: scissors
scissor Detection preview by Box_v11_medium_train_SIXray_OPIXray scissor Detection preview by DN_Medium_300_yolov8m_20t7_new scissor Detection preview by Segmentatation_v8_medium_train_250 scissor Detection preview by Segmentation_V11_large_300_train_300 scissor Detection preview by Segmentation_v8_large_300_train_300
Original Image: P06378.jpg
GT: knife
knife Detection preview by Box_v11_medium_train_SIXray_OPIXray No objects detected Detection preview by DN_Medium_300_yolov8m_20t7_new knife Detection preview by Segmentatation_v8_medium_train_250 knife Detection preview by Segmentation_V11_large_300_train_300 knife Detection preview by Segmentation_v8_large_300_train_300
Original Image: P06379.jpg
GT: knife
knife Detection preview by Box_v11_medium_train_SIXray_OPIXray No objects detected Detection preview by DN_Medium_300_yolov8m_20t7_new knife Detection preview by Segmentatation_v8_medium_train_250 knife Detection preview by Segmentation_V11_large_300_train_300 knife Detection preview by Segmentation_v8_large_300_train_300
Original Image: P06380.jpg
GT: knife
knife Detection preview by Box_v11_medium_train_SIXray_OPIXray No objects detected Detection preview by DN_Medium_300_yolov8m_20t7_new knife Detection preview by Segmentatation_v8_medium_train_250 knife Detection preview by Segmentation_V11_large_300_train_300 knife Detection preview by Segmentation_v8_large_300_train_300
Original Image: P06381.jpg
GT: knife
knife Detection preview by Box_v11_medium_train_SIXray_OPIXray No objects detected Detection preview by DN_Medium_300_yolov8m_20t7_new knife Detection preview by Segmentatation_v8_medium_train_250 knife Detection preview by Segmentation_V11_large_300_train_300 knife Detection preview by Segmentation_v8_large_300_train_300
Original Image: P06382.jpg
GT: knife
knife Detection preview by Box_v11_medium_train_SIXray_OPIXray No objects detected Detection preview by DN_Medium_300_yolov8m_20t7_new knife Detection preview by Segmentatation_v8_medium_train_250 knife Detection preview by Segmentation_V11_large_300_train_300 knife Detection preview by Segmentation_v8_large_300_train_300
Original Image: P06383.jpg
GT: knife
knife Detection preview by Box_v11_medium_train_SIXray_OPIXray No objects detected Detection preview by DN_Medium_300_yolov8m_20t7_new knife Detection preview by Segmentatation_v8_medium_train_250 knife Detection preview by Segmentation_V11_large_300_train_300 knife Detection preview by Segmentation_v8_large_300_train_300
Original Image: P06384.jpg
GT: knife
knife Detection preview by Box_v11_medium_train_SIXray_OPIXray No objects detected Detection preview by DN_Medium_300_yolov8m_20t7_new knife Detection preview by Segmentatation_v8_medium_train_250 knife Detection preview by Segmentation_V11_large_300_train_300 knife Detection preview by Segmentation_v8_large_300_train_300
Original Image: P06385.jpg
GT: knife
knife Detection preview by Box_v11_medium_train_SIXray_OPIXray No objects detected Detection preview by DN_Medium_300_yolov8m_20t7_new knife Detection preview by Segmentatation_v8_medium_train_250 knife Detection preview by Segmentation_V11_large_300_train_300 knife Detection preview by Segmentation_v8_large_300_train_300
Original Image: P06386.jpg
GT: scissors, wrench
scissor, wrench Detection preview by Box_v11_medium_train_SIXray_OPIXray No objects detected Detection preview by DN_Medium_300_yolov8m_20t7_new wrench Detection preview by Segmentatation_v8_medium_train_250 wrench Detection preview by Segmentation_V11_large_300_train_300 wrench Detection preview by Segmentation_v8_large_300_train_300
Original Image: P06387.jpg
GT: scissors, wrench
scissor, wrench Detection preview by Box_v11_medium_train_SIXray_OPIXray No objects detected Detection preview by DN_Medium_300_yolov8m_20t7_new wrench Detection preview by Segmentatation_v8_medium_train_250 wrench Detection preview by Segmentation_V11_large_300_train_300 wrench Detection preview by Segmentation_v8_large_300_train_300
Original Image: P06388.jpg
GT: pliers
pliers Detection preview by Box_v11_medium_train_SIXray_OPIXray No objects detected Detection preview by DN_Medium_300_yolov8m_20t7_new wrench Detection preview by Segmentatation_v8_medium_train_250 wrench Detection preview by Segmentation_V11_large_300_train_300 wrench Detection preview by Segmentation_v8_large_300_train_300
Original Image: P06389.jpg
GT: pliers
pliers Detection preview by Box_v11_medium_train_SIXray_OPIXray No objects detected Detection preview by DN_Medium_300_yolov8m_20t7_new wrench Detection preview by Segmentatation_v8_medium_train_250 wrench Detection preview by Segmentation_V11_large_300_train_300 wrench Detection preview by Segmentation_v8_large_300_train_300
Original Image: P06390.jpg
GT: pliers
pliers Detection preview by Box_v11_medium_train_SIXray_OPIXray No objects detected Detection preview by DN_Medium_300_yolov8m_20t7_new wrench Detection preview by Segmentatation_v8_medium_train_250 wrench Detection preview by Segmentation_V11_large_300_train_300 wrench Detection preview by Segmentation_v8_large_300_train_300
Original Image: P06391.jpg
GT: pliers
pliers Detection preview by Box_v11_medium_train_SIXray_OPIXray No objects detected Detection preview by DN_Medium_300_yolov8m_20t7_new wrench Detection preview by Segmentatation_v8_medium_train_250 wrench Detection preview by Segmentation_V11_large_300_train_300 wrench Detection preview by Segmentation_v8_large_300_train_300
Original Image: P06392.jpg
GT: pliers, wrench
pliers, wrench Detection preview by Box_v11_medium_train_SIXray_OPIXray No objects detected Detection preview by DN_Medium_300_yolov8m_20t7_new wrench Detection preview by Segmentatation_v8_medium_train_250 wrench Detection preview by Segmentation_V11_large_300_train_300 wrench Detection preview by Segmentation_v8_large_300_train_300
Original Image: P06393.jpg
GT: scissors
scissor Detection preview by Box_v11_medium_train_SIXray_OPIXray scissor Detection preview by DN_Medium_300_yolov8m_20t7_new scissor Detection preview by Segmentatation_v8_medium_train_250 scissor Detection preview by Segmentation_V11_large_300_train_300 scissor Detection preview by Segmentation_v8_large_300_train_300
Original Image: P06394.jpg
GT: scissors
scissor Detection preview by Box_v11_medium_train_SIXray_OPIXray scissor Detection preview by DN_Medium_300_yolov8m_20t7_new scissor Detection preview by Segmentatation_v8_medium_train_250 scissor Detection preview by Segmentation_V11_large_300_train_300 scissor Detection preview by Segmentation_v8_large_300_train_300
Original Image: P06395.jpg
GT: pliers, wrench
pliers, wrench Detection preview by Box_v11_medium_train_SIXray_OPIXray No objects detected Detection preview by DN_Medium_300_yolov8m_20t7_new wrench Detection preview by Segmentatation_v8_medium_train_250 wrench Detection preview by Segmentation_V11_large_300_train_300 wrench Detection preview by Segmentation_v8_large_300_train_300
Original Image: P06396.jpg
GT: pliers, wrench
pliers, wrench Detection preview by Box_v11_medium_train_SIXray_OPIXray No objects detected Detection preview by DN_Medium_300_yolov8m_20t7_new wrench Detection preview by Segmentatation_v8_medium_train_250 wrench Detection preview by Segmentation_V11_large_300_train_300 wrench Detection preview by Segmentation_v8_large_300_train_300
Original Image: P06397.jpg
GT: pliers, wrench
pliers, wrench Detection preview by Box_v11_medium_train_SIXray_OPIXray No objects detected Detection preview by DN_Medium_300_yolov8m_20t7_new wrench Detection preview by Segmentatation_v8_medium_train_250 wrench Detection preview by Segmentation_V11_large_300_train_300 wrench Detection preview by Segmentation_v8_large_300_train_300
Original Image: P06398.jpg
GT: pliers, wrench
pliers, wrench Detection preview by Box_v11_medium_train_SIXray_OPIXray No objects detected Detection preview by DN_Medium_300_yolov8m_20t7_new wrench Detection preview by Segmentatation_v8_medium_train_250 wrench Detection preview by Segmentation_V11_large_300_train_300 wrench Detection preview by Segmentation_v8_large_300_train_300
Original Image: P06399.jpg
GT: pliers
pliers Detection preview by Box_v11_medium_train_SIXray_OPIXray No objects detected Detection preview by DN_Medium_300_yolov8m_20t7_new No objects detected Detection preview by Segmentatation_v8_medium_train_250 No objects detected Detection preview by Segmentation_V11_large_300_train_300 No objects detected Detection preview by Segmentation_v8_large_300_train_300
Original Image: P06400.jpg
GT: pliers
pliers Detection preview by Box_v11_medium_train_SIXray_OPIXray No objects detected Detection preview by DN_Medium_300_yolov8m_20t7_new No objects detected Detection preview by Segmentatation_v8_medium_train_250 No objects detected Detection preview by Segmentation_V11_large_300_train_300 No objects detected Detection preview by Segmentation_v8_large_300_train_300
Original Image: P06401.jpg
GT: pliers
pliers Detection preview by Box_v11_medium_train_SIXray_OPIXray No objects detected Detection preview by DN_Medium_300_yolov8m_20t7_new No objects detected Detection preview by Segmentatation_v8_medium_train_250 No objects detected Detection preview by Segmentation_V11_large_300_train_300 No objects detected Detection preview by Segmentation_v8_large_300_train_300
Original Image: P06402.jpg
GT: pliers
pliers Detection preview by Box_v11_medium_train_SIXray_OPIXray No objects detected Detection preview by DN_Medium_300_yolov8m_20t7_new No objects detected Detection preview by Segmentatation_v8_medium_train_250 No objects detected Detection preview by Segmentation_V11_large_300_train_300 No objects detected Detection preview by Segmentation_v8_large_300_train_300
Original Image: P06403.jpg
GT: pliers
pliers Detection preview by Box_v11_medium_train_SIXray_OPIXray No objects detected Detection preview by DN_Medium_300_yolov8m_20t7_new No objects detected Detection preview by Segmentatation_v8_medium_train_250 No objects detected Detection preview by Segmentation_V11_large_300_train_300 No objects detected Detection preview by Segmentation_v8_large_300_train_300
Original Image: P06404.jpg
GT: pliers, wrench
pliers, wrench Detection preview by Box_v11_medium_train_SIXray_OPIXray No objects detected Detection preview by DN_Medium_300_yolov8m_20t7_new wrench Detection preview by Segmentatation_v8_medium_train_250 wrench Detection preview by Segmentation_V11_large_300_train_300 wrench Detection preview by Segmentation_v8_large_300_train_300
Original Image: P06405.jpg
GT: scissors
scissor Detection preview by Box_v11_medium_train_SIXray_OPIXray No objects detected Detection preview by DN_Medium_300_yolov8m_20t7_new scissor Detection preview by Segmentatation_v8_medium_train_250 scissor Detection preview by Segmentation_V11_large_300_train_300 scissor Detection preview by Segmentation_v8_large_300_train_300
Original Image: P06406.jpg
GT: scissors
scissor Detection preview by Box_v11_medium_train_SIXray_OPIXray No objects detected Detection preview by DN_Medium_300_yolov8m_20t7_new scissor Detection preview by Segmentatation_v8_medium_train_250 scissor Detection preview by Segmentation_V11_large_300_train_300 scissor Detection preview by Segmentation_v8_large_300_train_300
Original Image: P06407.jpg
GT: scissors
scissor Detection preview by Box_v11_medium_train_SIXray_OPIXray No objects detected Detection preview by DN_Medium_300_yolov8m_20t7_new No objects detected Detection preview by Segmentatation_v8_medium_train_250 No objects detected Detection preview by Segmentation_V11_large_300_train_300 No objects detected Detection preview by Segmentation_v8_large_300_train_300
Original Image: P06408.jpg
GT: knife
knife Detection preview by Box_v11_medium_train_SIXray_OPIXray scissor Detection preview by DN_Medium_300_yolov8m_20t7_new knife Detection preview by Segmentatation_v8_medium_train_250 knife Detection preview by Segmentation_V11_large_300_train_300 knife Detection preview by Segmentation_v8_large_300_train_300
Original Image: P06409.jpg
GT: knife
knife Detection preview by Box_v11_medium_train_SIXray_OPIXray scissor Detection preview by DN_Medium_300_yolov8m_20t7_new knife Detection preview by Segmentatation_v8_medium_train_250 knife Detection preview by Segmentation_V11_large_300_train_300 knife Detection preview by Segmentation_v8_large_300_train_300
Original Image: P06410.jpg
GT: scissors
scissor Detection preview by Box_v11_medium_train_SIXray_OPIXray No objects detected Detection preview by DN_Medium_300_yolov8m_20t7_new scissor Detection preview by Segmentatation_v8_medium_train_250 scissor Detection preview by Segmentation_V11_large_300_train_300 scissor Detection preview by Segmentation_v8_large_300_train_300
Original Image: P06411.jpg
GT: scissors
scissor Detection preview by Box_v11_medium_train_SIXray_OPIXray No objects detected Detection preview by DN_Medium_300_yolov8m_20t7_new scissor Detection preview by Segmentatation_v8_medium_train_250 scissor Detection preview by Segmentation_V11_large_300_train_300 scissor Detection preview by Segmentation_v8_large_300_train_300
Original Image: P06412.jpg
GT: scissors
scissor Detection preview by Box_v11_medium_train_SIXray_OPIXray No objects detected Detection preview by DN_Medium_300_yolov8m_20t7_new scissor Detection preview by Segmentatation_v8_medium_train_250 scissor Detection preview by Segmentation_V11_large_300_train_300 scissor Detection preview by Segmentation_v8_large_300_train_300
Original Image: P06413.jpg
GT: scissors
scissor Detection preview by Box_v11_medium_train_SIXray_OPIXray No objects detected Detection preview by DN_Medium_300_yolov8m_20t7_new scissor Detection preview by Segmentatation_v8_medium_train_250 scissor Detection preview by Segmentation_V11_large_300_train_300 scissor Detection preview by Segmentation_v8_large_300_train_300
Original Image: P06414.jpg
GT: scissors
scissor Detection preview by Box_v11_medium_train_SIXray_OPIXray No objects detected Detection preview by DN_Medium_300_yolov8m_20t7_new scissor Detection preview by Segmentatation_v8_medium_train_250 scissor Detection preview by Segmentation_V11_large_300_train_300 scissor Detection preview by Segmentation_v8_large_300_train_300
Original Image: P06415.jpg
GT: scissors
scissor Detection preview by Box_v11_medium_train_SIXray_OPIXray No objects detected Detection preview by DN_Medium_300_yolov8m_20t7_new scissor Detection preview by Segmentatation_v8_medium_train_250 scissor Detection preview by Segmentation_V11_large_300_train_300 scissor Detection preview by Segmentation_v8_large_300_train_300
Original Image: P06416.jpg
GT: scissors
scissor Detection preview by Box_v11_medium_train_SIXray_OPIXray No objects detected Detection preview by DN_Medium_300_yolov8m_20t7_new scissor Detection preview by Segmentatation_v8_medium_train_250 scissor Detection preview by Segmentation_V11_large_300_train_300 scissor Detection preview by Segmentation_v8_large_300_train_300
Original Image: P06417.jpg
GT: scissors
scissor Detection preview by Box_v11_medium_train_SIXray_OPIXray No objects detected Detection preview by DN_Medium_300_yolov8m_20t7_new scissor Detection preview by Segmentatation_v8_medium_train_250 scissor Detection preview by Segmentation_V11_large_300_train_300 scissor Detection preview by Segmentation_v8_large_300_train_300
Original Image: P06418.jpg
GT: scissors
scissor Detection preview by Box_v11_medium_train_SIXray_OPIXray No objects detected Detection preview by DN_Medium_300_yolov8m_20t7_new scissor Detection preview by Segmentatation_v8_medium_train_250 scissor Detection preview by Segmentation_V11_large_300_train_300 scissor Detection preview by Segmentation_v8_large_300_train_300
Original Image: P06419.jpg
GT: scissors
scissor Detection preview by Box_v11_medium_train_SIXray_OPIXray No objects detected Detection preview by DN_Medium_300_yolov8m_20t7_new scissor Detection preview by Segmentatation_v8_medium_train_250 scissor Detection preview by Segmentation_V11_large_300_train_300 scissor Detection preview by Segmentation_v8_large_300_train_300
Original Image: P06420.jpg
GT: scissors
scissor Detection preview by Box_v11_medium_train_SIXray_OPIXray No objects detected Detection preview by DN_Medium_300_yolov8m_20t7_new scissor Detection preview by Segmentatation_v8_medium_train_250 scissor Detection preview by Segmentation_V11_large_300_train_300 scissor Detection preview by Segmentation_v8_large_300_train_300
Original Image: P06421.jpg
GT: pliers
pliers Detection preview by Box_v11_medium_train_SIXray_OPIXray No objects detected Detection preview by DN_Medium_300_yolov8m_20t7_new No objects detected Detection preview by Segmentatation_v8_medium_train_250 No objects detected Detection preview by Segmentation_V11_large_300_train_300 No objects detected Detection preview by Segmentation_v8_large_300_train_300
Original Image: P06422.jpg
GT: pliers
pliers Detection preview by Box_v11_medium_train_SIXray_OPIXray No objects detected Detection preview by DN_Medium_300_yolov8m_20t7_new No objects detected Detection preview by Segmentatation_v8_medium_train_250 No objects detected Detection preview by Segmentation_V11_large_300_train_300 No objects detected Detection preview by Segmentation_v8_large_300_train_300
Original Image: P06423.jpg
GT: scissors
scissor Detection preview by Box_v11_medium_train_SIXray_OPIXray No objects detected Detection preview by DN_Medium_300_yolov8m_20t7_new scissor Detection preview by Segmentatation_v8_medium_train_250 scissor Detection preview by Segmentation_V11_large_300_train_300 scissor Detection preview by Segmentation_v8_large_300_train_300
Original Image: P06424.jpg
GT: scissors
scissor Detection preview by Box_v11_medium_train_SIXray_OPIXray No objects detected Detection preview by DN_Medium_300_yolov8m_20t7_new scissor Detection preview by Segmentatation_v8_medium_train_250 scissor Detection preview by Segmentation_V11_large_300_train_300 scissor Detection preview by Segmentation_v8_large_300_train_300
Original Image: P06425.jpg
GT: scissors
scissor Detection preview by Box_v11_medium_train_SIXray_OPIXray No objects detected Detection preview by DN_Medium_300_yolov8m_20t7_new scissor Detection preview by Segmentatation_v8_medium_train_250 scissor Detection preview by Segmentation_V11_large_300_train_300 scissor Detection preview by Segmentation_v8_large_300_train_300
Original Image: P06426.jpg
GT: scissors
scissor Detection preview by Box_v11_medium_train_SIXray_OPIXray No objects detected Detection preview by DN_Medium_300_yolov8m_20t7_new scissor Detection preview by Segmentatation_v8_medium_train_250 scissor Detection preview by Segmentation_V11_large_300_train_300 scissor Detection preview by Segmentation_v8_large_300_train_300
Original Image: P06427.jpg
GT: scissors
scissor Detection preview by Box_v11_medium_train_SIXray_OPIXray No objects detected Detection preview by DN_Medium_300_yolov8m_20t7_new scissor Detection preview by Segmentatation_v8_medium_train_250 scissor Detection preview by Segmentation_V11_large_300_train_300 scissor Detection preview by Segmentation_v8_large_300_train_300
Original Image: P06428.jpg
GT: scissors
scissor Detection preview by Box_v11_medium_train_SIXray_OPIXray No objects detected Detection preview by DN_Medium_300_yolov8m_20t7_new scissor Detection preview by Segmentatation_v8_medium_train_250 scissor Detection preview by Segmentation_V11_large_300_train_300 scissor Detection preview by Segmentation_v8_large_300_train_300
Original Image: P06429.jpg
GT: scissors
scissor Detection preview by Box_v11_medium_train_SIXray_OPIXray No objects detected Detection preview by DN_Medium_300_yolov8m_20t7_new scissor Detection preview by Segmentatation_v8_medium_train_250 scissor Detection preview by Segmentation_V11_large_300_train_300 scissor Detection preview by Segmentation_v8_large_300_train_300
Original Image: P06430.jpg
GT: pliers
pliers Detection preview by Box_v11_medium_train_SIXray_OPIXray No objects detected Detection preview by DN_Medium_300_yolov8m_20t7_new No objects detected Detection preview by Segmentatation_v8_medium_train_250 No objects detected Detection preview by Segmentation_V11_large_300_train_300 No objects detected Detection preview by Segmentation_v8_large_300_train_300
Original Image: P06431.jpg
GT: pliers, scissors
pliers, scissor Detection preview by Box_v11_medium_train_SIXray_OPIXray No objects detected Detection preview by DN_Medium_300_yolov8m_20t7_new scissor Detection preview by Segmentatation_v8_medium_train_250 No objects detected Detection preview by Segmentation_V11_large_300_train_300 No objects detected Detection preview by Segmentation_v8_large_300_train_300
Original Image: P06432.jpg
GT: scissors
scissor Detection preview by Box_v11_medium_train_SIXray_OPIXray No objects detected Detection preview by DN_Medium_300_yolov8m_20t7_new scissor Detection preview by Segmentatation_v8_medium_train_250 scissor Detection preview by Segmentation_V11_large_300_train_300 scissor Detection preview by Segmentation_v8_large_300_train_300
Original Image: P06433.jpg
GT: scissors
scissor Detection preview by Box_v11_medium_train_SIXray_OPIXray No objects detected Detection preview by DN_Medium_300_yolov8m_20t7_new scissor Detection preview by Segmentatation_v8_medium_train_250 scissor Detection preview by Segmentation_V11_large_300_train_300 scissor Detection preview by Segmentation_v8_large_300_train_300
Original Image: P06434.jpg
GT: pliers
pliers Detection preview by Box_v11_medium_train_SIXray_OPIXray No objects detected Detection preview by DN_Medium_300_yolov8m_20t7_new No objects detected Detection preview by Segmentatation_v8_medium_train_250 No objects detected Detection preview by Segmentation_V11_large_300_train_300 No objects detected Detection preview by Segmentation_v8_large_300_train_300
Original Image: P06435.jpg
GT: pliers
pliers Detection preview by Box_v11_medium_train_SIXray_OPIXray No objects detected Detection preview by DN_Medium_300_yolov8m_20t7_new No objects detected Detection preview by Segmentatation_v8_medium_train_250 No objects detected Detection preview by Segmentation_V11_large_300_train_300 scissor Detection preview by Segmentation_v8_large_300_train_300
Original Image: P06436.jpg
GT: pliers
pliers Detection preview by Box_v11_medium_train_SIXray_OPIXray No objects detected Detection preview by DN_Medium_300_yolov8m_20t7_new No objects detected Detection preview by Segmentatation_v8_medium_train_250 No objects detected Detection preview by Segmentation_V11_large_300_train_300 No objects detected Detection preview by Segmentation_v8_large_300_train_300
Original Image: P06437.jpg
GT: pliers, wrench
pliers, wrench Detection preview by Box_v11_medium_train_SIXray_OPIXray pliers Detection preview by DN_Medium_300_yolov8m_20t7_new wrench Detection preview by Segmentatation_v8_medium_train_250 wrench Detection preview by Segmentation_V11_large_300_train_300 wrench Detection preview by Segmentation_v8_large_300_train_300
Original Image: P06438.jpg
GT: pliers, wrench
pliers, wrench Detection preview by Box_v11_medium_train_SIXray_OPIXray pliers Detection preview by DN_Medium_300_yolov8m_20t7_new wrench Detection preview by Segmentatation_v8_medium_train_250 wrench Detection preview by Segmentation_V11_large_300_train_300 wrench Detection preview by Segmentation_v8_large_300_train_300
Original Image: P06439.jpg
GT: pliers, wrench
pliers, wrench Detection preview by Box_v11_medium_train_SIXray_OPIXray pliers Detection preview by DN_Medium_300_yolov8m_20t7_new wrench Detection preview by Segmentatation_v8_medium_train_250 wrench Detection preview by Segmentation_V11_large_300_train_300 wrench Detection preview by Segmentation_v8_large_300_train_300
Original Image: P06440.jpg
GT: scissors
scissor Detection preview by Box_v11_medium_train_SIXray_OPIXray No objects detected Detection preview by DN_Medium_300_yolov8m_20t7_new No objects detected Detection preview by Segmentatation_v8_medium_train_250 scissor Detection preview by Segmentation_V11_large_300_train_300 No objects detected Detection preview by Segmentation_v8_large_300_train_300
Original Image: P06441.jpg
GT: scissors
scissor Detection preview by Box_v11_medium_train_SIXray_OPIXray No objects detected Detection preview by DN_Medium_300_yolov8m_20t7_new scissor Detection preview by Segmentatation_v8_medium_train_250 scissor Detection preview by Segmentation_V11_large_300_train_300 scissor Detection preview by Segmentation_v8_large_300_train_300
Original Image: P06442.jpg
GT: scissors
scissor Detection preview by Box_v11_medium_train_SIXray_OPIXray scissor Detection preview by DN_Medium_300_yolov8m_20t7_new scissor Detection preview by Segmentatation_v8_medium_train_250 scissor Detection preview by Segmentation_V11_large_300_train_300 scissor Detection preview by Segmentation_v8_large_300_train_300
Original Image: P06443.jpg
GT: scissors
scissor Detection preview by Box_v11_medium_train_SIXray_OPIXray scissor Detection preview by DN_Medium_300_yolov8m_20t7_new scissor Detection preview by Segmentatation_v8_medium_train_250 scissor Detection preview by Segmentation_V11_large_300_train_300 scissor Detection preview by Segmentation_v8_large_300_train_300
Original Image: P06444.jpg
GT: scissors
scissor Detection preview by Box_v11_medium_train_SIXray_OPIXray scissor Detection preview by DN_Medium_300_yolov8m_20t7_new scissor Detection preview by Segmentatation_v8_medium_train_250 scissor Detection preview by Segmentation_V11_large_300_train_300 scissor Detection preview by Segmentation_v8_large_300_train_300
Original Image: P06445.jpg
GT: scissors
scissor Detection preview by Box_v11_medium_train_SIXray_OPIXray No objects detected Detection preview by DN_Medium_300_yolov8m_20t7_new scissor Detection preview by Segmentatation_v8_medium_train_250 scissor Detection preview by Segmentation_V11_large_300_train_300 scissor Detection preview by Segmentation_v8_large_300_train_300
Original Image: P06446.jpg
GT: scissors
scissor Detection preview by Box_v11_medium_train_SIXray_OPIXray No objects detected Detection preview by DN_Medium_300_yolov8m_20t7_new scissor Detection preview by Segmentatation_v8_medium_train_250 scissor Detection preview by Segmentation_V11_large_300_train_300 scissor Detection preview by Segmentation_v8_large_300_train_300
Original Image: P06447.jpg
GT: scissors
scissor Detection preview by Box_v11_medium_train_SIXray_OPIXray No objects detected Detection preview by DN_Medium_300_yolov8m_20t7_new scissor Detection preview by Segmentatation_v8_medium_train_250 scissor Detection preview by Segmentation_V11_large_300_train_300 scissor Detection preview by Segmentation_v8_large_300_train_300
Original Image: P06448.jpg
GT: scissors
scissor Detection preview by Box_v11_medium_train_SIXray_OPIXray No objects detected Detection preview by DN_Medium_300_yolov8m_20t7_new scissor Detection preview by Segmentatation_v8_medium_train_250 scissor Detection preview by Segmentation_V11_large_300_train_300 scissor Detection preview by Segmentation_v8_large_300_train_300
Original Image: P06449.jpg
GT: pliers
pliers Detection preview by Box_v11_medium_train_SIXray_OPIXray pliers Detection preview by DN_Medium_300_yolov8m_20t7_new No objects detected Detection preview by Segmentatation_v8_medium_train_250 No objects detected Detection preview by Segmentation_V11_large_300_train_300 No objects detected Detection preview by Segmentation_v8_large_300_train_300
Original Image: P06450.jpg
GT: pliers
pliers Detection preview by Box_v11_medium_train_SIXray_OPIXray pliers Detection preview by DN_Medium_300_yolov8m_20t7_new No objects detected Detection preview by Segmentatation_v8_medium_train_250 No objects detected Detection preview by Segmentation_V11_large_300_train_300 No objects detected Detection preview by Segmentation_v8_large_300_train_300
Original Image: P06451.jpg
GT: pliers
pliers Detection preview by Box_v11_medium_train_SIXray_OPIXray pliers Detection preview by DN_Medium_300_yolov8m_20t7_new No objects detected Detection preview by Segmentatation_v8_medium_train_250 No objects detected Detection preview by Segmentation_V11_large_300_train_300 No objects detected Detection preview by Segmentation_v8_large_300_train_300
Original Image: P06452.jpg
GT: pliers
pliers Detection preview by Box_v11_medium_train_SIXray_OPIXray pliers Detection preview by DN_Medium_300_yolov8m_20t7_new No objects detected Detection preview by Segmentatation_v8_medium_train_250 No objects detected Detection preview by Segmentation_V11_large_300_train_300 No objects detected Detection preview by Segmentation_v8_large_300_train_300
Original Image: P06453.jpg
GT: pliers
pliers Detection preview by Box_v11_medium_train_SIXray_OPIXray pliers Detection preview by DN_Medium_300_yolov8m_20t7_new No objects detected Detection preview by Segmentatation_v8_medium_train_250 No objects detected Detection preview by Segmentation_V11_large_300_train_300 No objects detected Detection preview by Segmentation_v8_large_300_train_300
Original Image: P06454.jpg
GT: pliers
pliers Detection preview by Box_v11_medium_train_SIXray_OPIXray pliers Detection preview by DN_Medium_300_yolov8m_20t7_new No objects detected Detection preview by Segmentatation_v8_medium_train_250 No objects detected Detection preview by Segmentation_V11_large_300_train_300 No objects detected Detection preview by Segmentation_v8_large_300_train_300
Original Image: P06455.jpg
GT: pliers
pliers Detection preview by Box_v11_medium_train_SIXray_OPIXray No objects detected Detection preview by DN_Medium_300_yolov8m_20t7_new No objects detected Detection preview by Segmentatation_v8_medium_train_250 No objects detected Detection preview by Segmentation_V11_large_300_train_300 No objects detected Detection preview by Segmentation_v8_large_300_train_300
Original Image: P06456.jpg
GT: scissors
scissor Detection preview by Box_v11_medium_train_SIXray_OPIXray scissor Detection preview by DN_Medium_300_yolov8m_20t7_new scissor Detection preview by Segmentatation_v8_medium_train_250 scissor Detection preview by Segmentation_V11_large_300_train_300 scissor Detection preview by Segmentation_v8_large_300_train_300
Original Image: P06457.jpg
GT: pliers
pliers Detection preview by Box_v11_medium_train_SIXray_OPIXray No objects detected Detection preview by DN_Medium_300_yolov8m_20t7_new No objects detected Detection preview by Segmentatation_v8_medium_train_250 No objects detected Detection preview by Segmentation_V11_large_300_train_300 No objects detected Detection preview by Segmentation_v8_large_300_train_300
Original Image: P06458.jpg
GT: pliers
pliers Detection preview by Box_v11_medium_train_SIXray_OPIXray No objects detected Detection preview by DN_Medium_300_yolov8m_20t7_new No objects detected Detection preview by Segmentatation_v8_medium_train_250 No objects detected Detection preview by Segmentation_V11_large_300_train_300 No objects detected Detection preview by Segmentation_v8_large_300_train_300
Original Image: P06459.jpg
GT: pliers
pliers Detection preview by Box_v11_medium_train_SIXray_OPIXray No objects detected Detection preview by DN_Medium_300_yolov8m_20t7_new No objects detected Detection preview by Segmentatation_v8_medium_train_250 No objects detected Detection preview by Segmentation_V11_large_300_train_300 No objects detected Detection preview by Segmentation_v8_large_300_train_300
Original Image: P06460.jpg
GT: pliers
pliers Detection preview by Box_v11_medium_train_SIXray_OPIXray No objects detected Detection preview by DN_Medium_300_yolov8m_20t7_new No objects detected Detection preview by Segmentatation_v8_medium_train_250 No objects detected Detection preview by Segmentation_V11_large_300_train_300 No objects detected Detection preview by Segmentation_v8_large_300_train_300
Original Image: P06461.jpg
GT: pliers
pliers Detection preview by Box_v11_medium_train_SIXray_OPIXray No objects detected Detection preview by DN_Medium_300_yolov8m_20t7_new No objects detected Detection preview by Segmentatation_v8_medium_train_250 No objects detected Detection preview by Segmentation_V11_large_300_train_300 No objects detected Detection preview by Segmentation_v8_large_300_train_300
Original Image: P06462.jpg
GT: pliers
pliers Detection preview by Box_v11_medium_train_SIXray_OPIXray No objects detected Detection preview by DN_Medium_300_yolov8m_20t7_new No objects detected Detection preview by Segmentatation_v8_medium_train_250 No objects detected Detection preview by Segmentation_V11_large_300_train_300 No objects detected Detection preview by Segmentation_v8_large_300_train_300
Original Image: P06463.jpg
GT: pliers
pliers Detection preview by Box_v11_medium_train_SIXray_OPIXray No objects detected Detection preview by DN_Medium_300_yolov8m_20t7_new No objects detected Detection preview by Segmentatation_v8_medium_train_250 No objects detected Detection preview by Segmentation_V11_large_300_train_300 No objects detected Detection preview by Segmentation_v8_large_300_train_300
Original Image: P06464.jpg
GT: pliers
pliers Detection preview by Box_v11_medium_train_SIXray_OPIXray No objects detected Detection preview by DN_Medium_300_yolov8m_20t7_new No objects detected Detection preview by Segmentatation_v8_medium_train_250 No objects detected Detection preview by Segmentation_V11_large_300_train_300 No objects detected Detection preview by Segmentation_v8_large_300_train_300
Original Image: P06465.jpg
GT: scissors
scissor Detection preview by Box_v11_medium_train_SIXray_OPIXray No objects detected Detection preview by DN_Medium_300_yolov8m_20t7_new scissor Detection preview by Segmentatation_v8_medium_train_250 scissor Detection preview by Segmentation_V11_large_300_train_300 scissor Detection preview by Segmentation_v8_large_300_train_300
Original Image: P06466.jpg
GT: scissors
scissor Detection preview by Box_v11_medium_train_SIXray_OPIXray No objects detected Detection preview by DN_Medium_300_yolov8m_20t7_new scissor Detection preview by Segmentatation_v8_medium_train_250 scissor Detection preview by Segmentation_V11_large_300_train_300 scissor Detection preview by Segmentation_v8_large_300_train_300
Original Image: P06467.jpg
GT: scissors
scissor Detection preview by Box_v11_medium_train_SIXray_OPIXray scissor Detection preview by DN_Medium_300_yolov8m_20t7_new scissor Detection preview by Segmentatation_v8_medium_train_250 scissor Detection preview by Segmentation_V11_large_300_train_300 scissor Detection preview by Segmentation_v8_large_300_train_300
Original Image: P06468.jpg
GT: pliers
pliers Detection preview by Box_v11_medium_train_SIXray_OPIXray No objects detected Detection preview by DN_Medium_300_yolov8m_20t7_new No objects detected Detection preview by Segmentatation_v8_medium_train_250 No objects detected Detection preview by Segmentation_V11_large_300_train_300 No objects detected Detection preview by Segmentation_v8_large_300_train_300
Original Image: P06469.jpg
GT: pliers
pliers Detection preview by Box_v11_medium_train_SIXray_OPIXray No objects detected Detection preview by DN_Medium_300_yolov8m_20t7_new No objects detected Detection preview by Segmentatation_v8_medium_train_250 No objects detected Detection preview by Segmentation_V11_large_300_train_300 No objects detected Detection preview by Segmentation_v8_large_300_train_300
Original Image: P06470.jpg
GT: pliers
pliers Detection preview by Box_v11_medium_train_SIXray_OPIXray No objects detected Detection preview by DN_Medium_300_yolov8m_20t7_new No objects detected Detection preview by Segmentatation_v8_medium_train_250 No objects detected Detection preview by Segmentation_V11_large_300_train_300 No objects detected Detection preview by Segmentation_v8_large_300_train_300
Original Image: P06471.jpg
GT: pliers
pliers Detection preview by Box_v11_medium_train_SIXray_OPIXray No objects detected Detection preview by DN_Medium_300_yolov8m_20t7_new No objects detected Detection preview by Segmentatation_v8_medium_train_250 No objects detected Detection preview by Segmentation_V11_large_300_train_300 No objects detected Detection preview by Segmentation_v8_large_300_train_300
Original Image: P06472.jpg
GT: pliers
pliers Detection preview by Box_v11_medium_train_SIXray_OPIXray No objects detected Detection preview by DN_Medium_300_yolov8m_20t7_new No objects detected Detection preview by Segmentatation_v8_medium_train_250 No objects detected Detection preview by Segmentation_V11_large_300_train_300 No objects detected Detection preview by Segmentation_v8_large_300_train_300
Original Image: P06473.jpg
GT: pliers
pliers Detection preview by Box_v11_medium_train_SIXray_OPIXray No objects detected Detection preview by DN_Medium_300_yolov8m_20t7_new No objects detected Detection preview by Segmentatation_v8_medium_train_250 No objects detected Detection preview by Segmentation_V11_large_300_train_300 No objects detected Detection preview by Segmentation_v8_large_300_train_300
Original Image: P06474.jpg
GT: pliers
pliers Detection preview by Box_v11_medium_train_SIXray_OPIXray No objects detected Detection preview by DN_Medium_300_yolov8m_20t7_new No objects detected Detection preview by Segmentatation_v8_medium_train_250 No objects detected Detection preview by Segmentation_V11_large_300_train_300 No objects detected Detection preview by Segmentation_v8_large_300_train_300
Original Image: P06475.jpg
GT: wrench
wrench Detection preview by Box_v11_medium_train_SIXray_OPIXray No objects detected Detection preview by DN_Medium_300_yolov8m_20t7_new wrench Detection preview by Segmentatation_v8_medium_train_250 wrench Detection preview by Segmentation_V11_large_300_train_300 wrench Detection preview by Segmentation_v8_large_300_train_300
Original Image: P06476.jpg
GT: wrench
wrench Detection preview by Box_v11_medium_train_SIXray_OPIXray No objects detected Detection preview by DN_Medium_300_yolov8m_20t7_new wrench Detection preview by Segmentatation_v8_medium_train_250 wrench Detection preview by Segmentation_V11_large_300_train_300 wrench Detection preview by Segmentation_v8_large_300_train_300
Original Image: P06477.jpg
GT: pliers
pliers Detection preview by Box_v11_medium_train_SIXray_OPIXray No objects detected Detection preview by DN_Medium_300_yolov8m_20t7_new No objects detected Detection preview by Segmentatation_v8_medium_train_250 No objects detected Detection preview by Segmentation_V11_large_300_train_300 No objects detected Detection preview by Segmentation_v8_large_300_train_300
Original Image: P06478.jpg
GT: pliers
pliers Detection preview by Box_v11_medium_train_SIXray_OPIXray No objects detected Detection preview by DN_Medium_300_yolov8m_20t7_new No objects detected Detection preview by Segmentatation_v8_medium_train_250 No objects detected Detection preview by Segmentation_V11_large_300_train_300 No objects detected Detection preview by Segmentation_v8_large_300_train_300
Original Image: P06479.jpg
GT: pliers
pliers Detection preview by Box_v11_medium_train_SIXray_OPIXray No objects detected Detection preview by DN_Medium_300_yolov8m_20t7_new No objects detected Detection preview by Segmentatation_v8_medium_train_250 No objects detected Detection preview by Segmentation_V11_large_300_train_300 No objects detected Detection preview by Segmentation_v8_large_300_train_300
Original Image: P06480.jpg
GT: pliers
pliers Detection preview by Box_v11_medium_train_SIXray_OPIXray No objects detected Detection preview by DN_Medium_300_yolov8m_20t7_new No objects detected Detection preview by Segmentatation_v8_medium_train_250 No objects detected Detection preview by Segmentation_V11_large_300_train_300 No objects detected Detection preview by Segmentation_v8_large_300_train_300
Original Image: P06481.jpg
GT: pliers
pliers Detection preview by Box_v11_medium_train_SIXray_OPIXray No objects detected Detection preview by DN_Medium_300_yolov8m_20t7_new No objects detected Detection preview by Segmentatation_v8_medium_train_250 No objects detected Detection preview by Segmentation_V11_large_300_train_300 No objects detected Detection preview by Segmentation_v8_large_300_train_300
Original Image: P06482.jpg
GT: pliers
pliers Detection preview by Box_v11_medium_train_SIXray_OPIXray pliers Detection preview by DN_Medium_300_yolov8m_20t7_new No objects detected Detection preview by Segmentatation_v8_medium_train_250 No objects detected Detection preview by Segmentation_V11_large_300_train_300 No objects detected Detection preview by Segmentation_v8_large_300_train_300
Original Image: P06483.jpg
GT: pliers
pliers Detection preview by Box_v11_medium_train_SIXray_OPIXray No objects detected Detection preview by DN_Medium_300_yolov8m_20t7_new scissor Detection preview by Segmentatation_v8_medium_train_250 No objects detected Detection preview by Segmentation_V11_large_300_train_300 No objects detected Detection preview by Segmentation_v8_large_300_train_300
Original Image: P06484.jpg
GT: wrench
wrench Detection preview by Box_v11_medium_train_SIXray_OPIXray No objects detected Detection preview by DN_Medium_300_yolov8m_20t7_new wrench Detection preview by Segmentatation_v8_medium_train_250 wrench Detection preview by Segmentation_V11_large_300_train_300 wrench Detection preview by Segmentation_v8_large_300_train_300
Original Image: P06485.jpg
GT: wrench
wrench Detection preview by Box_v11_medium_train_SIXray_OPIXray No objects detected Detection preview by DN_Medium_300_yolov8m_20t7_new wrench Detection preview by Segmentatation_v8_medium_train_250 wrench Detection preview by Segmentation_V11_large_300_train_300 wrench Detection preview by Segmentation_v8_large_300_train_300
Original Image: P06486.jpg
GT: pliers
pliers Detection preview by Box_v11_medium_train_SIXray_OPIXray No objects detected Detection preview by DN_Medium_300_yolov8m_20t7_new No objects detected Detection preview by Segmentatation_v8_medium_train_250 No objects detected Detection preview by Segmentation_V11_large_300_train_300 No objects detected Detection preview by Segmentation_v8_large_300_train_300
Original Image: P06487.jpg
GT: pliers
pliers Detection preview by Box_v11_medium_train_SIXray_OPIXray No objects detected Detection preview by DN_Medium_300_yolov8m_20t7_new No objects detected Detection preview by Segmentatation_v8_medium_train_250 No objects detected Detection preview by Segmentation_V11_large_300_train_300 No objects detected Detection preview by Segmentation_v8_large_300_train_300
Original Image: P06488.jpg
GT: pliers
pliers Detection preview by Box_v11_medium_train_SIXray_OPIXray No objects detected Detection preview by DN_Medium_300_yolov8m_20t7_new No objects detected Detection preview by Segmentatation_v8_medium_train_250 No objects detected Detection preview by Segmentation_V11_large_300_train_300 No objects detected Detection preview by Segmentation_v8_large_300_train_300
Original Image: P06489.jpg
GT: pliers
pliers Detection preview by Box_v11_medium_train_SIXray_OPIXray No objects detected Detection preview by DN_Medium_300_yolov8m_20t7_new No objects detected Detection preview by Segmentatation_v8_medium_train_250 No objects detected Detection preview by Segmentation_V11_large_300_train_300 No objects detected Detection preview by Segmentation_v8_large_300_train_300
Original Image: P06490.jpg
GT: pliers
pliers Detection preview by Box_v11_medium_train_SIXray_OPIXray No objects detected Detection preview by DN_Medium_300_yolov8m_20t7_new No objects detected Detection preview by Segmentatation_v8_medium_train_250 No objects detected Detection preview by Segmentation_V11_large_300_train_300 No objects detected Detection preview by Segmentation_v8_large_300_train_300
Original Image: P06491.jpg
GT: pliers
pliers Detection preview by Box_v11_medium_train_SIXray_OPIXray No objects detected Detection preview by DN_Medium_300_yolov8m_20t7_new No objects detected Detection preview by Segmentatation_v8_medium_train_250 No objects detected Detection preview by Segmentation_V11_large_300_train_300 No objects detected Detection preview by Segmentation_v8_large_300_train_300
Original Image: P06492.jpg
GT: pliers
pliers Detection preview by Box_v11_medium_train_SIXray_OPIXray No objects detected Detection preview by DN_Medium_300_yolov8m_20t7_new No objects detected Detection preview by Segmentatation_v8_medium_train_250 No objects detected Detection preview by Segmentation_V11_large_300_train_300 No objects detected Detection preview by Segmentation_v8_large_300_train_300
Original Image: P06493.jpg
GT: pliers, wrench
pliers, wrench Detection preview by Box_v11_medium_train_SIXray_OPIXray No objects detected Detection preview by DN_Medium_300_yolov8m_20t7_new wrench Detection preview by Segmentatation_v8_medium_train_250 wrench Detection preview by Segmentation_V11_large_300_train_300 wrench Detection preview by Segmentation_v8_large_300_train_300
Original Image: P06494.jpg
GT: scissors
scissor Detection preview by Box_v11_medium_train_SIXray_OPIXray No objects detected Detection preview by DN_Medium_300_yolov8m_20t7_new scissor Detection preview by Segmentatation_v8_medium_train_250 scissor Detection preview by Segmentation_V11_large_300_train_300 scissor Detection preview by Segmentation_v8_large_300_train_300
Original Image: P06495.jpg
GT: scissors
scissor Detection preview by Box_v11_medium_train_SIXray_OPIXray No objects detected Detection preview by DN_Medium_300_yolov8m_20t7_new scissor Detection preview by Segmentatation_v8_medium_train_250 scissor Detection preview by Segmentation_V11_large_300_train_300 scissor Detection preview by Segmentation_v8_large_300_train_300
Original Image: P06496.jpg
GT: scissors
scissor Detection preview by Box_v11_medium_train_SIXray_OPIXray No objects detected Detection preview by DN_Medium_300_yolov8m_20t7_new scissor Detection preview by Segmentatation_v8_medium_train_250 scissor Detection preview by Segmentation_V11_large_300_train_300 scissor Detection preview by Segmentation_v8_large_300_train_300
Original Image: P06497.jpg
GT: pliers
pliers Detection preview by Box_v11_medium_train_SIXray_OPIXray No objects detected Detection preview by DN_Medium_300_yolov8m_20t7_new No objects detected Detection preview by Segmentatation_v8_medium_train_250 No objects detected Detection preview by Segmentation_V11_large_300_train_300 No objects detected Detection preview by Segmentation_v8_large_300_train_300
Original Image: P06498.jpg
GT: pliers
pliers Detection preview by Box_v11_medium_train_SIXray_OPIXray No objects detected Detection preview by DN_Medium_300_yolov8m_20t7_new No objects detected Detection preview by Segmentatation_v8_medium_train_250 No objects detected Detection preview by Segmentation_V11_large_300_train_300 No objects detected Detection preview by Segmentation_v8_large_300_train_300
Original Image: P06499.jpg
GT: pliers
pliers Detection preview by Box_v11_medium_train_SIXray_OPIXray No objects detected Detection preview by DN_Medium_300_yolov8m_20t7_new No objects detected Detection preview by Segmentatation_v8_medium_train_250 No objects detected Detection preview by Segmentation_V11_large_300_train_300 No objects detected Detection preview by Segmentation_v8_large_300_train_300
Original Image: P06500.jpg
GT: pliers
pliers Detection preview by Box_v11_medium_train_SIXray_OPIXray No objects detected Detection preview by DN_Medium_300_yolov8m_20t7_new No objects detected Detection preview by Segmentatation_v8_medium_train_250 No objects detected Detection preview by Segmentation_V11_large_300_train_300 No objects detected Detection preview by Segmentation_v8_large_300_train_300
Original Image: P06501.jpg
GT: pliers
pliers Detection preview by Box_v11_medium_train_SIXray_OPIXray No objects detected Detection preview by DN_Medium_300_yolov8m_20t7_new No objects detected Detection preview by Segmentatation_v8_medium_train_250 No objects detected Detection preview by Segmentation_V11_large_300_train_300 No objects detected Detection preview by Segmentation_v8_large_300_train_300
Original Image: P06502.jpg
GT: pliers
pliers Detection preview by Box_v11_medium_train_SIXray_OPIXray No objects detected Detection preview by DN_Medium_300_yolov8m_20t7_new No objects detected Detection preview by Segmentatation_v8_medium_train_250 No objects detected Detection preview by Segmentation_V11_large_300_train_300 No objects detected Detection preview by Segmentation_v8_large_300_train_300
Original Image: P06503.jpg
GT: pliers
pliers Detection preview by Box_v11_medium_train_SIXray_OPIXray No objects detected Detection preview by DN_Medium_300_yolov8m_20t7_new No objects detected Detection preview by Segmentatation_v8_medium_train_250 No objects detected Detection preview by Segmentation_V11_large_300_train_300 No objects detected Detection preview by Segmentation_v8_large_300_train_300
Original Image: P06504.jpg
GT: pliers
pliers Detection preview by Box_v11_medium_train_SIXray_OPIXray No objects detected Detection preview by DN_Medium_300_yolov8m_20t7_new No objects detected Detection preview by Segmentatation_v8_medium_train_250 No objects detected Detection preview by Segmentation_V11_large_300_train_300 No objects detected Detection preview by Segmentation_v8_large_300_train_300
Original Image: P06505.jpg
GT: pliers
pliers Detection preview by Box_v11_medium_train_SIXray_OPIXray No objects detected Detection preview by DN_Medium_300_yolov8m_20t7_new No objects detected Detection preview by Segmentatation_v8_medium_train_250 No objects detected Detection preview by Segmentation_V11_large_300_train_300 No objects detected Detection preview by Segmentation_v8_large_300_train_300
Original Image: P06506.jpg
GT: pliers
pliers Detection preview by Box_v11_medium_train_SIXray_OPIXray No objects detected Detection preview by DN_Medium_300_yolov8m_20t7_new No objects detected Detection preview by Segmentatation_v8_medium_train_250 No objects detected Detection preview by Segmentation_V11_large_300_train_300 No objects detected Detection preview by Segmentation_v8_large_300_train_300
Original Image: P06507.jpg
GT: pliers, wrench
pliers, wrench Detection preview by Box_v11_medium_train_SIXray_OPIXray No objects detected Detection preview by DN_Medium_300_yolov8m_20t7_new wrench Detection preview by Segmentatation_v8_medium_train_250 wrench Detection preview by Segmentation_V11_large_300_train_300 wrench Detection preview by Segmentation_v8_large_300_train_300
Original Image: P06508.jpg
GT: pliers, wrench
pliers, wrench Detection preview by Box_v11_medium_train_SIXray_OPIXray No objects detected Detection preview by DN_Medium_300_yolov8m_20t7_new wrench Detection preview by Segmentatation_v8_medium_train_250 wrench Detection preview by Segmentation_V11_large_300_train_300 wrench Detection preview by Segmentation_v8_large_300_train_300
Original Image: P06509.jpg
GT: wrench
wrench Detection preview by Box_v11_medium_train_SIXray_OPIXray No objects detected Detection preview by DN_Medium_300_yolov8m_20t7_new wrench Detection preview by Segmentatation_v8_medium_train_250 wrench Detection preview by Segmentation_V11_large_300_train_300 wrench Detection preview by Segmentation_v8_large_300_train_300
Original Image: P06510.jpg
GT: wrench
wrench Detection preview by Box_v11_medium_train_SIXray_OPIXray No objects detected Detection preview by DN_Medium_300_yolov8m_20t7_new wrench Detection preview by Segmentatation_v8_medium_train_250 wrench Detection preview by Segmentation_V11_large_300_train_300 wrench Detection preview by Segmentation_v8_large_300_train_300
Original Image: P06511.jpg
GT: wrench
wrench Detection preview by Box_v11_medium_train_SIXray_OPIXray No objects detected Detection preview by DN_Medium_300_yolov8m_20t7_new wrench Detection preview by Segmentatation_v8_medium_train_250 wrench Detection preview by Segmentation_V11_large_300_train_300 wrench Detection preview by Segmentation_v8_large_300_train_300
Original Image: P06512.jpg
GT: wrench
wrench Detection preview by Box_v11_medium_train_SIXray_OPIXray No objects detected Detection preview by DN_Medium_300_yolov8m_20t7_new wrench Detection preview by Segmentatation_v8_medium_train_250 wrench Detection preview by Segmentation_V11_large_300_train_300 wrench Detection preview by Segmentation_v8_large_300_train_300
Original Image: P06513.jpg
GT: wrench
wrench Detection preview by Box_v11_medium_train_SIXray_OPIXray No objects detected Detection preview by DN_Medium_300_yolov8m_20t7_new wrench Detection preview by Segmentatation_v8_medium_train_250 wrench Detection preview by Segmentation_V11_large_300_train_300 wrench Detection preview by Segmentation_v8_large_300_train_300
Original Image: P06514.jpg
GT: wrench
wrench Detection preview by Box_v11_medium_train_SIXray_OPIXray No objects detected Detection preview by DN_Medium_300_yolov8m_20t7_new wrench Detection preview by Segmentatation_v8_medium_train_250 wrench Detection preview by Segmentation_V11_large_300_train_300 wrench Detection preview by Segmentation_v8_large_300_train_300
Original Image: P06515.jpg
GT: wrench
wrench Detection preview by Box_v11_medium_train_SIXray_OPIXray No objects detected Detection preview by DN_Medium_300_yolov8m_20t7_new wrench Detection preview by Segmentatation_v8_medium_train_250 wrench Detection preview by Segmentation_V11_large_300_train_300 wrench Detection preview by Segmentation_v8_large_300_train_300
Original Image: P06516.jpg
GT: scissors
scissor Detection preview by Box_v11_medium_train_SIXray_OPIXray No objects detected Detection preview by DN_Medium_300_yolov8m_20t7_new scissor Detection preview by Segmentatation_v8_medium_train_250 scissor Detection preview by Segmentation_V11_large_300_train_300 scissor Detection preview by Segmentation_v8_large_300_train_300
Original Image: P06517.jpg
GT: scissors
scissor Detection preview by Box_v11_medium_train_SIXray_OPIXray No objects detected Detection preview by DN_Medium_300_yolov8m_20t7_new scissor Detection preview by Segmentatation_v8_medium_train_250 scissor Detection preview by Segmentation_V11_large_300_train_300 scissor Detection preview by Segmentation_v8_large_300_train_300
Original Image: P06518.jpg
GT: scissors
scissor Detection preview by Box_v11_medium_train_SIXray_OPIXray No objects detected Detection preview by DN_Medium_300_yolov8m_20t7_new scissor Detection preview by Segmentatation_v8_medium_train_250 scissor Detection preview by Segmentation_V11_large_300_train_300 scissor Detection preview by Segmentation_v8_large_300_train_300
Original Image: P06519.jpg
GT: scissors
scissor Detection preview by Box_v11_medium_train_SIXray_OPIXray No objects detected Detection preview by DN_Medium_300_yolov8m_20t7_new scissor Detection preview by Segmentatation_v8_medium_train_250 scissor Detection preview by Segmentation_V11_large_300_train_300 scissor Detection preview by Segmentation_v8_large_300_train_300
Original Image: P06520.jpg
GT: wrench
wrench Detection preview by Box_v11_medium_train_SIXray_OPIXray No objects detected Detection preview by DN_Medium_300_yolov8m_20t7_new wrench Detection preview by Segmentatation_v8_medium_train_250 wrench Detection preview by Segmentation_V11_large_300_train_300 wrench Detection preview by Segmentation_v8_large_300_train_300
Original Image: P06521.jpg
GT: wrench
wrench Detection preview by Box_v11_medium_train_SIXray_OPIXray No objects detected Detection preview by DN_Medium_300_yolov8m_20t7_new wrench Detection preview by Segmentatation_v8_medium_train_250 wrench Detection preview by Segmentation_V11_large_300_train_300 wrench Detection preview by Segmentation_v8_large_300_train_300
Original Image: P06522.jpg
GT: pliers
pliers Detection preview by Box_v11_medium_train_SIXray_OPIXray pliers Detection preview by DN_Medium_300_yolov8m_20t7_new No objects detected Detection preview by Segmentatation_v8_medium_train_250 No objects detected Detection preview by Segmentation_V11_large_300_train_300 No objects detected Detection preview by Segmentation_v8_large_300_train_300
Original Image: P06523.jpg
GT: pliers
pliers Detection preview by Box_v11_medium_train_SIXray_OPIXray pliers Detection preview by DN_Medium_300_yolov8m_20t7_new No objects detected Detection preview by Segmentatation_v8_medium_train_250 No objects detected Detection preview by Segmentation_V11_large_300_train_300 No objects detected Detection preview by Segmentation_v8_large_300_train_300
Original Image: P06524.jpg
GT: scissors
scissor Detection preview by Box_v11_medium_train_SIXray_OPIXray No objects detected Detection preview by DN_Medium_300_yolov8m_20t7_new scissor Detection preview by Segmentatation_v8_medium_train_250 scissor Detection preview by Segmentation_V11_large_300_train_300 scissor Detection preview by Segmentation_v8_large_300_train_300
Original Image: P06525.jpg
GT: scissors
scissor Detection preview by Box_v11_medium_train_SIXray_OPIXray No objects detected Detection preview by DN_Medium_300_yolov8m_20t7_new scissor Detection preview by Segmentatation_v8_medium_train_250 scissor Detection preview by Segmentation_V11_large_300_train_300 scissor Detection preview by Segmentation_v8_large_300_train_300
Original Image: P06526.jpg
GT: scissors
scissor Detection preview by Box_v11_medium_train_SIXray_OPIXray No objects detected Detection preview by DN_Medium_300_yolov8m_20t7_new scissor Detection preview by Segmentatation_v8_medium_train_250 scissor Detection preview by Segmentation_V11_large_300_train_300 scissor Detection preview by Segmentation_v8_large_300_train_300
Original Image: P06527.jpg
GT: scissors
scissor Detection preview by Box_v11_medium_train_SIXray_OPIXray No objects detected Detection preview by DN_Medium_300_yolov8m_20t7_new scissor Detection preview by Segmentatation_v8_medium_train_250 scissor Detection preview by Segmentation_V11_large_300_train_300 scissor Detection preview by Segmentation_v8_large_300_train_300
Original Image: P06528.jpg
GT: scissors
scissor Detection preview by Box_v11_medium_train_SIXray_OPIXray No objects detected Detection preview by DN_Medium_300_yolov8m_20t7_new scissor Detection preview by Segmentatation_v8_medium_train_250 scissor Detection preview by Segmentation_V11_large_300_train_300 scissor Detection preview by Segmentation_v8_large_300_train_300
Original Image: P06529.jpg
GT: scissors
scissor Detection preview by Box_v11_medium_train_SIXray_OPIXray No objects detected Detection preview by DN_Medium_300_yolov8m_20t7_new scissor Detection preview by Segmentatation_v8_medium_train_250 scissor Detection preview by Segmentation_V11_large_300_train_300 scissor Detection preview by Segmentation_v8_large_300_train_300
Original Image: P06530.jpg
GT: scissors
scissor Detection preview by Box_v11_medium_train_SIXray_OPIXray No objects detected Detection preview by DN_Medium_300_yolov8m_20t7_new scissor Detection preview by Segmentatation_v8_medium_train_250 scissor Detection preview by Segmentation_V11_large_300_train_300 scissor Detection preview by Segmentation_v8_large_300_train_300
Original Image: P06531.jpg
GT: scissors
scissor Detection preview by Box_v11_medium_train_SIXray_OPIXray No objects detected Detection preview by DN_Medium_300_yolov8m_20t7_new scissor Detection preview by Segmentatation_v8_medium_train_250 scissor Detection preview by Segmentation_V11_large_300_train_300 scissor Detection preview by Segmentation_v8_large_300_train_300
Original Image: P06532.jpg
GT: scissors
scissor Detection preview by Box_v11_medium_train_SIXray_OPIXray No objects detected Detection preview by DN_Medium_300_yolov8m_20t7_new scissor Detection preview by Segmentatation_v8_medium_train_250 scissor Detection preview by Segmentation_V11_large_300_train_300 scissor Detection preview by Segmentation_v8_large_300_train_300
Original Image: P06533.jpg
GT: scissors
scissor Detection preview by Box_v11_medium_train_SIXray_OPIXray No objects detected Detection preview by DN_Medium_300_yolov8m_20t7_new scissor Detection preview by Segmentatation_v8_medium_train_250 scissor Detection preview by Segmentation_V11_large_300_train_300 scissor Detection preview by Segmentation_v8_large_300_train_300
Original Image: P06534.jpg
GT: scissors
scissor Detection preview by Box_v11_medium_train_SIXray_OPIXray No objects detected Detection preview by DN_Medium_300_yolov8m_20t7_new scissor Detection preview by Segmentatation_v8_medium_train_250 scissor Detection preview by Segmentation_V11_large_300_train_300 scissor Detection preview by Segmentation_v8_large_300_train_300
Original Image: P06535.jpg
GT: pliers
pliers Detection preview by Box_v11_medium_train_SIXray_OPIXray pliers Detection preview by DN_Medium_300_yolov8m_20t7_new No objects detected Detection preview by Segmentatation_v8_medium_train_250 No objects detected Detection preview by Segmentation_V11_large_300_train_300 No objects detected Detection preview by Segmentation_v8_large_300_train_300
Original Image: P06536.jpg
GT: pliers
pliers Detection preview by Box_v11_medium_train_SIXray_OPIXray No objects detected Detection preview by DN_Medium_300_yolov8m_20t7_new No objects detected Detection preview by Segmentatation_v8_medium_train_250 No objects detected Detection preview by Segmentation_V11_large_300_train_300 No objects detected Detection preview by Segmentation_v8_large_300_train_300
Original Image: P06537.jpg
GT: pliers, wrench
pliers, wrench Detection preview by Box_v11_medium_train_SIXray_OPIXray No objects detected Detection preview by DN_Medium_300_yolov8m_20t7_new wrench Detection preview by Segmentatation_v8_medium_train_250 wrench Detection preview by Segmentation_V11_large_300_train_300 wrench Detection preview by Segmentation_v8_large_300_train_300
Original Image: P06538.jpg
GT: pliers, wrench
pliers, wrench Detection preview by Box_v11_medium_train_SIXray_OPIXray No objects detected Detection preview by DN_Medium_300_yolov8m_20t7_new wrench Detection preview by Segmentatation_v8_medium_train_250 wrench Detection preview by Segmentation_V11_large_300_train_300 wrench Detection preview by Segmentation_v8_large_300_train_300
Original Image: P06539.jpg
GT: pliers, wrench
pliers, wrench Detection preview by Box_v11_medium_train_SIXray_OPIXray No objects detected Detection preview by DN_Medium_300_yolov8m_20t7_new wrench Detection preview by Segmentatation_v8_medium_train_250 wrench Detection preview by Segmentation_V11_large_300_train_300 wrench Detection preview by Segmentation_v8_large_300_train_300
Original Image: P06540.jpg
GT: pliers, wrench
pliers, wrench Detection preview by Box_v11_medium_train_SIXray_OPIXray No objects detected Detection preview by DN_Medium_300_yolov8m_20t7_new wrench Detection preview by Segmentatation_v8_medium_train_250 wrench Detection preview by Segmentation_V11_large_300_train_300 wrench Detection preview by Segmentation_v8_large_300_train_300
Original Image: P06541.jpg
GT: pliers, wrench
pliers, wrench Detection preview by Box_v11_medium_train_SIXray_OPIXray No objects detected Detection preview by DN_Medium_300_yolov8m_20t7_new wrench Detection preview by Segmentatation_v8_medium_train_250 wrench Detection preview by Segmentation_V11_large_300_train_300 wrench Detection preview by Segmentation_v8_large_300_train_300
Original Image: P06542.jpg
GT: pliers, wrench
pliers, wrench Detection preview by Box_v11_medium_train_SIXray_OPIXray No objects detected Detection preview by DN_Medium_300_yolov8m_20t7_new wrench Detection preview by Segmentatation_v8_medium_train_250 wrench Detection preview by Segmentation_V11_large_300_train_300 wrench Detection preview by Segmentation_v8_large_300_train_300
Original Image: P06543.jpg
GT: pliers, wrench
pliers, wrench Detection preview by Box_v11_medium_train_SIXray_OPIXray No objects detected Detection preview by DN_Medium_300_yolov8m_20t7_new wrench Detection preview by Segmentatation_v8_medium_train_250 wrench Detection preview by Segmentation_V11_large_300_train_300 wrench Detection preview by Segmentation_v8_large_300_train_300
Original Image: P06544.jpg
GT: wrench
wrench Detection preview by Box_v11_medium_train_SIXray_OPIXray No objects detected Detection preview by DN_Medium_300_yolov8m_20t7_new wrench Detection preview by Segmentatation_v8_medium_train_250 wrench Detection preview by Segmentation_V11_large_300_train_300 wrench Detection preview by Segmentation_v8_large_300_train_300
Original Image: P06545.jpg
GT: scissors
scissor Detection preview by Box_v11_medium_train_SIXray_OPIXray scissor Detection preview by DN_Medium_300_yolov8m_20t7_new scissor Detection preview by Segmentatation_v8_medium_train_250 scissor Detection preview by Segmentation_V11_large_300_train_300 scissor Detection preview by Segmentation_v8_large_300_train_300
Original Image: P06546.jpg
GT: pliers, wrench
pliers, wrench Detection preview by Box_v11_medium_train_SIXray_OPIXray No objects detected Detection preview by DN_Medium_300_yolov8m_20t7_new No objects detected Detection preview by Segmentatation_v8_medium_train_250 wrench Detection preview by Segmentation_V11_large_300_train_300 wrench Detection preview by Segmentation_v8_large_300_train_300
Original Image: P06547.jpg
GT: pliers, wrench
pliers, wrench Detection preview by Box_v11_medium_train_SIXray_OPIXray No objects detected Detection preview by DN_Medium_300_yolov8m_20t7_new No objects detected Detection preview by Segmentatation_v8_medium_train_250 No objects detected Detection preview by Segmentation_V11_large_300_train_300 No objects detected Detection preview by Segmentation_v8_large_300_train_300
Original Image: P06548.jpg
GT: pliers
pliers Detection preview by Box_v11_medium_train_SIXray_OPIXray No objects detected Detection preview by DN_Medium_300_yolov8m_20t7_new No objects detected Detection preview by Segmentatation_v8_medium_train_250 No objects detected Detection preview by Segmentation_V11_large_300_train_300 No objects detected Detection preview by Segmentation_v8_large_300_train_300
Original Image: P06549.jpg
GT: pliers
pliers Detection preview by Box_v11_medium_train_SIXray_OPIXray pliers Detection preview by DN_Medium_300_yolov8m_20t7_new No objects detected Detection preview by Segmentatation_v8_medium_train_250 No objects detected Detection preview by Segmentation_V11_large_300_train_300 No objects detected Detection preview by Segmentation_v8_large_300_train_300
Original Image: P06550.jpg
GT: pliers
pliers Detection preview by Box_v11_medium_train_SIXray_OPIXray pliers Detection preview by DN_Medium_300_yolov8m_20t7_new No objects detected Detection preview by Segmentatation_v8_medium_train_250 No objects detected Detection preview by Segmentation_V11_large_300_train_300 No objects detected Detection preview by Segmentation_v8_large_300_train_300
Original Image: P06551.jpg
GT: pliers
pliers Detection preview by Box_v11_medium_train_SIXray_OPIXray pliers Detection preview by DN_Medium_300_yolov8m_20t7_new No objects detected Detection preview by Segmentatation_v8_medium_train_250 No objects detected Detection preview by Segmentation_V11_large_300_train_300 No objects detected Detection preview by Segmentation_v8_large_300_train_300
Original Image: P06552.jpg
GT: scissors
scissor Detection preview by Box_v11_medium_train_SIXray_OPIXray scissor Detection preview by DN_Medium_300_yolov8m_20t7_new scissor Detection preview by Segmentatation_v8_medium_train_250 scissor Detection preview by Segmentation_V11_large_300_train_300 scissor Detection preview by Segmentation_v8_large_300_train_300
Original Image: P06553.jpg
GT: scissors
scissor Detection preview by Box_v11_medium_train_SIXray_OPIXray scissor Detection preview by DN_Medium_300_yolov8m_20t7_new scissor Detection preview by Segmentatation_v8_medium_train_250 scissor Detection preview by Segmentation_V11_large_300_train_300 scissor Detection preview by Segmentation_v8_large_300_train_300
Original Image: P06554.jpg
GT: scissors
scissor Detection preview by Box_v11_medium_train_SIXray_OPIXray scissor Detection preview by DN_Medium_300_yolov8m_20t7_new scissor Detection preview by Segmentatation_v8_medium_train_250 scissor Detection preview by Segmentation_V11_large_300_train_300 scissor Detection preview by Segmentation_v8_large_300_train_300
Original Image: P06555.jpg
GT: scissors
scissor Detection preview by Box_v11_medium_train_SIXray_OPIXray scissor Detection preview by DN_Medium_300_yolov8m_20t7_new scissor Detection preview by Segmentatation_v8_medium_train_250 scissor Detection preview by Segmentation_V11_large_300_train_300 scissor Detection preview by Segmentation_v8_large_300_train_300
Original Image: P06556.jpg
GT: wrench
wrench Detection preview by Box_v11_medium_train_SIXray_OPIXray No objects detected Detection preview by DN_Medium_300_yolov8m_20t7_new wrench Detection preview by Segmentatation_v8_medium_train_250 wrench Detection preview by Segmentation_V11_large_300_train_300 wrench Detection preview by Segmentation_v8_large_300_train_300
Original Image: P06557.jpg
GT: pliers, wrench
pliers, wrench Detection preview by Box_v11_medium_train_SIXray_OPIXray No objects detected Detection preview by DN_Medium_300_yolov8m_20t7_new wrench Detection preview by Segmentatation_v8_medium_train_250 wrench Detection preview by Segmentation_V11_large_300_train_300 wrench Detection preview by Segmentation_v8_large_300_train_300
Original Image: P06558.jpg
GT: pliers, wrench
pliers, wrench Detection preview by Box_v11_medium_train_SIXray_OPIXray No objects detected Detection preview by DN_Medium_300_yolov8m_20t7_new wrench Detection preview by Segmentatation_v8_medium_train_250 wrench Detection preview by Segmentation_V11_large_300_train_300 wrench Detection preview by Segmentation_v8_large_300_train_300
Original Image: P06559.jpg
GT: pliers, wrench
pliers, wrench Detection preview by Box_v11_medium_train_SIXray_OPIXray No objects detected Detection preview by DN_Medium_300_yolov8m_20t7_new wrench Detection preview by Segmentatation_v8_medium_train_250 wrench Detection preview by Segmentation_V11_large_300_train_300 wrench Detection preview by Segmentation_v8_large_300_train_300
Original Image: P06560.jpg
GT: pliers, wrench
pliers, wrench Detection preview by Box_v11_medium_train_SIXray_OPIXray No objects detected Detection preview by DN_Medium_300_yolov8m_20t7_new wrench Detection preview by Segmentatation_v8_medium_train_250 wrench Detection preview by Segmentation_V11_large_300_train_300 wrench Detection preview by Segmentation_v8_large_300_train_300
Original Image: P06561.jpg
GT: wrench
wrench Detection preview by Box_v11_medium_train_SIXray_OPIXray No objects detected Detection preview by DN_Medium_300_yolov8m_20t7_new wrench Detection preview by Segmentatation_v8_medium_train_250 wrench Detection preview by Segmentation_V11_large_300_train_300 wrench Detection preview by Segmentation_v8_large_300_train_300
Original Image: P06562.jpg
GT: wrench
wrench Detection preview by Box_v11_medium_train_SIXray_OPIXray No objects detected Detection preview by DN_Medium_300_yolov8m_20t7_new wrench Detection preview by Segmentatation_v8_medium_train_250 wrench Detection preview by Segmentation_V11_large_300_train_300 wrench Detection preview by Segmentation_v8_large_300_train_300
Original Image: P06563.jpg
GT: wrench
wrench Detection preview by Box_v11_medium_train_SIXray_OPIXray No objects detected Detection preview by DN_Medium_300_yolov8m_20t7_new wrench Detection preview by Segmentatation_v8_medium_train_250 wrench Detection preview by Segmentation_V11_large_300_train_300 wrench Detection preview by Segmentation_v8_large_300_train_300
Original Image: P06564.jpg
GT: wrench
wrench Detection preview by Box_v11_medium_train_SIXray_OPIXray No objects detected Detection preview by DN_Medium_300_yolov8m_20t7_new wrench Detection preview by Segmentatation_v8_medium_train_250 wrench Detection preview by Segmentation_V11_large_300_train_300 wrench Detection preview by Segmentation_v8_large_300_train_300
Original Image: P06565.jpg
GT: wrench
wrench Detection preview by Box_v11_medium_train_SIXray_OPIXray No objects detected Detection preview by DN_Medium_300_yolov8m_20t7_new wrench Detection preview by Segmentatation_v8_medium_train_250 wrench Detection preview by Segmentation_V11_large_300_train_300 wrench Detection preview by Segmentation_v8_large_300_train_300
Original Image: P06566.jpg
GT: scissors
scissor Detection preview by Box_v11_medium_train_SIXray_OPIXray No objects detected Detection preview by DN_Medium_300_yolov8m_20t7_new scissor Detection preview by Segmentatation_v8_medium_train_250 scissor Detection preview by Segmentation_V11_large_300_train_300 scissor Detection preview by Segmentation_v8_large_300_train_300
Original Image: P06567.jpg
GT: scissors
scissor Detection preview by Box_v11_medium_train_SIXray_OPIXray No objects detected Detection preview by DN_Medium_300_yolov8m_20t7_new scissor Detection preview by Segmentatation_v8_medium_train_250 scissor Detection preview by Segmentation_V11_large_300_train_300 scissor Detection preview by Segmentation_v8_large_300_train_300
Original Image: P06568.jpg
GT: pliers, wrench
pliers, wrench Detection preview by Box_v11_medium_train_SIXray_OPIXray No objects detected Detection preview by DN_Medium_300_yolov8m_20t7_new wrench Detection preview by Segmentatation_v8_medium_train_250 wrench Detection preview by Segmentation_V11_large_300_train_300 wrench Detection preview by Segmentation_v8_large_300_train_300
Original Image: P06569.jpg
GT: pliers
pliers Detection preview by Box_v11_medium_train_SIXray_OPIXray pliers Detection preview by DN_Medium_300_yolov8m_20t7_new No objects detected Detection preview by Segmentatation_v8_medium_train_250 No objects detected Detection preview by Segmentation_V11_large_300_train_300 No objects detected Detection preview by Segmentation_v8_large_300_train_300
Original Image: P06570.jpg
GT: pliers
pliers Detection preview by Box_v11_medium_train_SIXray_OPIXray No objects detected Detection preview by DN_Medium_300_yolov8m_20t7_new No objects detected Detection preview by Segmentatation_v8_medium_train_250 No objects detected Detection preview by Segmentation_V11_large_300_train_300 No objects detected Detection preview by Segmentation_v8_large_300_train_300
Original Image: P06571.jpg
GT: pliers
pliers Detection preview by Box_v11_medium_train_SIXray_OPIXray No objects detected Detection preview by DN_Medium_300_yolov8m_20t7_new No objects detected Detection preview by Segmentatation_v8_medium_train_250 No objects detected Detection preview by Segmentation_V11_large_300_train_300 No objects detected Detection preview by Segmentation_v8_large_300_train_300
Original Image: P06572.jpg
GT: pliers
pliers Detection preview by Box_v11_medium_train_SIXray_OPIXray No objects detected Detection preview by DN_Medium_300_yolov8m_20t7_new No objects detected Detection preview by Segmentatation_v8_medium_train_250 No objects detected Detection preview by Segmentation_V11_large_300_train_300 No objects detected Detection preview by Segmentation_v8_large_300_train_300
Original Image: P06573.jpg
GT: pliers
pliers Detection preview by Box_v11_medium_train_SIXray_OPIXray No objects detected Detection preview by DN_Medium_300_yolov8m_20t7_new No objects detected Detection preview by Segmentatation_v8_medium_train_250 No objects detected Detection preview by Segmentation_V11_large_300_train_300 No objects detected Detection preview by Segmentation_v8_large_300_train_300
Original Image: P06574.jpg
GT: pliers, wrench
pliers, wrench Detection preview by Box_v11_medium_train_SIXray_OPIXray No objects detected Detection preview by DN_Medium_300_yolov8m_20t7_new wrench Detection preview by Segmentatation_v8_medium_train_250 wrench Detection preview by Segmentation_V11_large_300_train_300 wrench Detection preview by Segmentation_v8_large_300_train_300
Original Image: P06575.jpg
GT: pliers, wrench
pliers, wrench Detection preview by Box_v11_medium_train_SIXray_OPIXray No objects detected Detection preview by DN_Medium_300_yolov8m_20t7_new wrench Detection preview by Segmentatation_v8_medium_train_250 wrench Detection preview by Segmentation_V11_large_300_train_300 wrench Detection preview by Segmentation_v8_large_300_train_300
Original Image: P06576.jpg
GT: scissors
scissor Detection preview by Box_v11_medium_train_SIXray_OPIXray No objects detected Detection preview by DN_Medium_300_yolov8m_20t7_new scissor Detection preview by Segmentatation_v8_medium_train_250 scissor Detection preview by Segmentation_V11_large_300_train_300 scissor Detection preview by Segmentation_v8_large_300_train_300
Original Image: P06577.jpg
GT: scissors
scissor Detection preview by Box_v11_medium_train_SIXray_OPIXray No objects detected Detection preview by DN_Medium_300_yolov8m_20t7_new scissor Detection preview by Segmentatation_v8_medium_train_250 scissor Detection preview by Segmentation_V11_large_300_train_300 scissor Detection preview by Segmentation_v8_large_300_train_300
Original Image: P06578.jpg
GT: scissors
scissor Detection preview by Box_v11_medium_train_SIXray_OPIXray No objects detected Detection preview by DN_Medium_300_yolov8m_20t7_new scissor Detection preview by Segmentatation_v8_medium_train_250 scissor Detection preview by Segmentation_V11_large_300_train_300 scissor Detection preview by Segmentation_v8_large_300_train_300
Original Image: P06579.jpg
GT: scissors
scissor Detection preview by Box_v11_medium_train_SIXray_OPIXray No objects detected Detection preview by DN_Medium_300_yolov8m_20t7_new scissor Detection preview by Segmentatation_v8_medium_train_250 scissor Detection preview by Segmentation_V11_large_300_train_300 scissor Detection preview by Segmentation_v8_large_300_train_300
Original Image: P06580.jpg
GT: scissors
scissor Detection preview by Box_v11_medium_train_SIXray_OPIXray No objects detected Detection preview by DN_Medium_300_yolov8m_20t7_new scissor Detection preview by Segmentatation_v8_medium_train_250 scissor Detection preview by Segmentation_V11_large_300_train_300 scissor Detection preview by Segmentation_v8_large_300_train_300
Original Image: P06581.jpg
GT: scissors
scissor Detection preview by Box_v11_medium_train_SIXray_OPIXray No objects detected Detection preview by DN_Medium_300_yolov8m_20t7_new scissor Detection preview by Segmentatation_v8_medium_train_250 scissor Detection preview by Segmentation_V11_large_300_train_300 scissor Detection preview by Segmentation_v8_large_300_train_300
Original Image: P06582.jpg
GT: scissors
scissor Detection preview by Box_v11_medium_train_SIXray_OPIXray No objects detected Detection preview by DN_Medium_300_yolov8m_20t7_new scissor Detection preview by Segmentatation_v8_medium_train_250 scissor Detection preview by Segmentation_V11_large_300_train_300 scissor Detection preview by Segmentation_v8_large_300_train_300
Original Image: P06583.jpg
GT: scissors
scissor Detection preview by Box_v11_medium_train_SIXray_OPIXray No objects detected Detection preview by DN_Medium_300_yolov8m_20t7_new scissor Detection preview by Segmentatation_v8_medium_train_250 scissor Detection preview by Segmentation_V11_large_300_train_300 scissor Detection preview by Segmentation_v8_large_300_train_300
Original Image: P06584.jpg
GT: pliers
pliers Detection preview by Box_v11_medium_train_SIXray_OPIXray No objects detected Detection preview by DN_Medium_300_yolov8m_20t7_new No objects detected Detection preview by Segmentatation_v8_medium_train_250 No objects detected Detection preview by Segmentation_V11_large_300_train_300 No objects detected Detection preview by Segmentation_v8_large_300_train_300
Original Image: P06585.jpg
GT: pliers
pliers Detection preview by Box_v11_medium_train_SIXray_OPIXray No objects detected Detection preview by DN_Medium_300_yolov8m_20t7_new No objects detected Detection preview by Segmentatation_v8_medium_train_250 No objects detected Detection preview by Segmentation_V11_large_300_train_300 No objects detected Detection preview by Segmentation_v8_large_300_train_300
Original Image: P06586.jpg
GT: pliers
pliers Detection preview by Box_v11_medium_train_SIXray_OPIXray No objects detected Detection preview by DN_Medium_300_yolov8m_20t7_new No objects detected Detection preview by Segmentatation_v8_medium_train_250 No objects detected Detection preview by Segmentation_V11_large_300_train_300 No objects detected Detection preview by Segmentation_v8_large_300_train_300
Original Image: P06587.jpg
GT: pliers
pliers Detection preview by Box_v11_medium_train_SIXray_OPIXray No objects detected Detection preview by DN_Medium_300_yolov8m_20t7_new No objects detected Detection preview by Segmentatation_v8_medium_train_250 No objects detected Detection preview by Segmentation_V11_large_300_train_300 No objects detected Detection preview by Segmentation_v8_large_300_train_300
Original Image: P06588.jpg
GT: pliers
pliers Detection preview by Box_v11_medium_train_SIXray_OPIXray No objects detected Detection preview by DN_Medium_300_yolov8m_20t7_new No objects detected Detection preview by Segmentatation_v8_medium_train_250 No objects detected Detection preview by Segmentation_V11_large_300_train_300 No objects detected Detection preview by Segmentation_v8_large_300_train_300
Original Image: P06589.jpg
GT: pliers
pliers Detection preview by Box_v11_medium_train_SIXray_OPIXray No objects detected Detection preview by DN_Medium_300_yolov8m_20t7_new No objects detected Detection preview by Segmentatation_v8_medium_train_250 No objects detected Detection preview by Segmentation_V11_large_300_train_300 No objects detected Detection preview by Segmentation_v8_large_300_train_300
Original Image: P06590.jpg
GT: wrench
wrench Detection preview by Box_v11_medium_train_SIXray_OPIXray No objects detected Detection preview by DN_Medium_300_yolov8m_20t7_new wrench Detection preview by Segmentatation_v8_medium_train_250 wrench Detection preview by Segmentation_V11_large_300_train_300 wrench Detection preview by Segmentation_v8_large_300_train_300
Original Image: P06591.jpg
GT: pliers
pliers Detection preview by Box_v11_medium_train_SIXray_OPIXray No objects detected Detection preview by DN_Medium_300_yolov8m_20t7_new No objects detected Detection preview by Segmentatation_v8_medium_train_250 No objects detected Detection preview by Segmentation_V11_large_300_train_300 No objects detected Detection preview by Segmentation_v8_large_300_train_300
Original Image: P06592.jpg
GT: pliers
pliers Detection preview by Box_v11_medium_train_SIXray_OPIXray No objects detected Detection preview by DN_Medium_300_yolov8m_20t7_new No objects detected Detection preview by Segmentatation_v8_medium_train_250 No objects detected Detection preview by Segmentation_V11_large_300_train_300 No objects detected Detection preview by Segmentation_v8_large_300_train_300
Original Image: P06593.jpg
GT: pliers
pliers Detection preview by Box_v11_medium_train_SIXray_OPIXray No objects detected Detection preview by DN_Medium_300_yolov8m_20t7_new No objects detected Detection preview by Segmentatation_v8_medium_train_250 No objects detected Detection preview by Segmentation_V11_large_300_train_300 No objects detected Detection preview by Segmentation_v8_large_300_train_300
Original Image: P06594.jpg
GT: pliers
pliers Detection preview by Box_v11_medium_train_SIXray_OPIXray No objects detected Detection preview by DN_Medium_300_yolov8m_20t7_new No objects detected Detection preview by Segmentatation_v8_medium_train_250 No objects detected Detection preview by Segmentation_V11_large_300_train_300 No objects detected Detection preview by Segmentation_v8_large_300_train_300
Original Image: P06595.jpg
GT: pliers, wrench
pliers, wrench Detection preview by Box_v11_medium_train_SIXray_OPIXray pliers Detection preview by DN_Medium_300_yolov8m_20t7_new wrench Detection preview by Segmentatation_v8_medium_train_250 wrench Detection preview by Segmentation_V11_large_300_train_300 wrench Detection preview by Segmentation_v8_large_300_train_300
Original Image: P06596.jpg
GT: pliers, wrench
pliers, wrench Detection preview by Box_v11_medium_train_SIXray_OPIXray pliers Detection preview by DN_Medium_300_yolov8m_20t7_new wrench Detection preview by Segmentatation_v8_medium_train_250 wrench Detection preview by Segmentation_V11_large_300_train_300 wrench Detection preview by Segmentation_v8_large_300_train_300
Original Image: P06597.jpg
GT: pliers, wrench
pliers, wrench Detection preview by Box_v11_medium_train_SIXray_OPIXray No objects detected Detection preview by DN_Medium_300_yolov8m_20t7_new wrench Detection preview by Segmentatation_v8_medium_train_250 wrench Detection preview by Segmentation_V11_large_300_train_300 wrench Detection preview by Segmentation_v8_large_300_train_300
Original Image: P06598.jpg
GT: pliers, wrench
pliers, wrench Detection preview by Box_v11_medium_train_SIXray_OPIXray No objects detected Detection preview by DN_Medium_300_yolov8m_20t7_new wrench Detection preview by Segmentatation_v8_medium_train_250 wrench Detection preview by Segmentation_V11_large_300_train_300 wrench Detection preview by Segmentation_v8_large_300_train_300
Original Image: P06599.jpg
GT: pliers, wrench
pliers, wrench Detection preview by Box_v11_medium_train_SIXray_OPIXray No objects detected Detection preview by DN_Medium_300_yolov8m_20t7_new wrench Detection preview by Segmentatation_v8_medium_train_250 wrench Detection preview by Segmentation_V11_large_300_train_300 wrench Detection preview by Segmentation_v8_large_300_train_300
Original Image: P06600.jpg
GT: pliers
pliers Detection preview by Box_v11_medium_train_SIXray_OPIXray No objects detected Detection preview by DN_Medium_300_yolov8m_20t7_new No objects detected Detection preview by Segmentatation_v8_medium_train_250 No objects detected Detection preview by Segmentation_V11_large_300_train_300 No objects detected Detection preview by Segmentation_v8_large_300_train_300
Original Image: P06601.jpg
GT: pliers
pliers Detection preview by Box_v11_medium_train_SIXray_OPIXray No objects detected Detection preview by DN_Medium_300_yolov8m_20t7_new No objects detected Detection preview by Segmentatation_v8_medium_train_250 No objects detected Detection preview by Segmentation_V11_large_300_train_300 No objects detected Detection preview by Segmentation_v8_large_300_train_300
Original Image: P06602.jpg
GT: pliers, wrench
pliers, wrench Detection preview by Box_v11_medium_train_SIXray_OPIXray No objects detected Detection preview by DN_Medium_300_yolov8m_20t7_new wrench Detection preview by Segmentatation_v8_medium_train_250 wrench Detection preview by Segmentation_V11_large_300_train_300 wrench Detection preview by Segmentation_v8_large_300_train_300
Original Image: P06603.jpg
GT: pliers
pliers Detection preview by Box_v11_medium_train_SIXray_OPIXray pliers Detection preview by DN_Medium_300_yolov8m_20t7_new No objects detected Detection preview by Segmentatation_v8_medium_train_250 No objects detected Detection preview by Segmentation_V11_large_300_train_300 No objects detected Detection preview by Segmentation_v8_large_300_train_300
Original Image: P06604.jpg
GT: pliers
pliers Detection preview by Box_v11_medium_train_SIXray_OPIXray pliers Detection preview by DN_Medium_300_yolov8m_20t7_new No objects detected Detection preview by Segmentatation_v8_medium_train_250 No objects detected Detection preview by Segmentation_V11_large_300_train_300 No objects detected Detection preview by Segmentation_v8_large_300_train_300
Original Image: P06605.jpg
GT: scissors
scissor Detection preview by Box_v11_medium_train_SIXray_OPIXray No objects detected Detection preview by DN_Medium_300_yolov8m_20t7_new scissor Detection preview by Segmentatation_v8_medium_train_250 scissor Detection preview by Segmentation_V11_large_300_train_300 scissor Detection preview by Segmentation_v8_large_300_train_300
Original Image: P06606.jpg
GT: wrench
wrench Detection preview by Box_v11_medium_train_SIXray_OPIXray No objects detected Detection preview by DN_Medium_300_yolov8m_20t7_new No objects detected Detection preview by Segmentatation_v8_medium_train_250 No objects detected Detection preview by Segmentation_V11_large_300_train_300 No objects detected Detection preview by Segmentation_v8_large_300_train_300
Original Image: P06607.jpg
GT: wrench
wrench Detection preview by Box_v11_medium_train_SIXray_OPIXray No objects detected Detection preview by DN_Medium_300_yolov8m_20t7_new No objects detected Detection preview by Segmentatation_v8_medium_train_250 No objects detected Detection preview by Segmentation_V11_large_300_train_300 No objects detected Detection preview by Segmentation_v8_large_300_train_300
Original Image: P06608.jpg
GT: wrench
wrench Detection preview by Box_v11_medium_train_SIXray_OPIXray No objects detected Detection preview by DN_Medium_300_yolov8m_20t7_new No objects detected Detection preview by Segmentatation_v8_medium_train_250 No objects detected Detection preview by Segmentation_V11_large_300_train_300 No objects detected Detection preview by Segmentation_v8_large_300_train_300
Original Image: P06609.jpg
GT: wrench
wrench Detection preview by Box_v11_medium_train_SIXray_OPIXray No objects detected Detection preview by DN_Medium_300_yolov8m_20t7_new wrench Detection preview by Segmentatation_v8_medium_train_250 No objects detected Detection preview by Segmentation_V11_large_300_train_300 wrench Detection preview by Segmentation_v8_large_300_train_300
Original Image: P06610.jpg
GT: pliers, wrench
pliers, wrench Detection preview by Box_v11_medium_train_SIXray_OPIXray pliers Detection preview by DN_Medium_300_yolov8m_20t7_new wrench Detection preview by Segmentatation_v8_medium_train_250 wrench Detection preview by Segmentation_V11_large_300_train_300 wrench Detection preview by Segmentation_v8_large_300_train_300
Original Image: P06611.jpg
GT: pliers
pliers Detection preview by Box_v11_medium_train_SIXray_OPIXray No objects detected Detection preview by DN_Medium_300_yolov8m_20t7_new No objects detected Detection preview by Segmentatation_v8_medium_train_250 No objects detected Detection preview by Segmentation_V11_large_300_train_300 No objects detected Detection preview by Segmentation_v8_large_300_train_300
Original Image: P06612.jpg
GT: pliers
pliers Detection preview by Box_v11_medium_train_SIXray_OPIXray No objects detected Detection preview by DN_Medium_300_yolov8m_20t7_new No objects detected Detection preview by Segmentatation_v8_medium_train_250 No objects detected Detection preview by Segmentation_V11_large_300_train_300 No objects detected Detection preview by Segmentation_v8_large_300_train_300
Original Image: P06613.jpg
GT: pliers
pliers Detection preview by Box_v11_medium_train_SIXray_OPIXray No objects detected Detection preview by DN_Medium_300_yolov8m_20t7_new No objects detected Detection preview by Segmentatation_v8_medium_train_250 No objects detected Detection preview by Segmentation_V11_large_300_train_300 No objects detected Detection preview by Segmentation_v8_large_300_train_300
Original Image: P06614.jpg
GT: pliers
pliers Detection preview by Box_v11_medium_train_SIXray_OPIXray No objects detected Detection preview by DN_Medium_300_yolov8m_20t7_new No objects detected Detection preview by Segmentatation_v8_medium_train_250 No objects detected Detection preview by Segmentation_V11_large_300_train_300 No objects detected Detection preview by Segmentation_v8_large_300_train_300
Original Image: P06615.jpg
GT: pliers, wrench
pliers, wrench Detection preview by Box_v11_medium_train_SIXray_OPIXray No objects detected Detection preview by DN_Medium_300_yolov8m_20t7_new wrench Detection preview by Segmentatation_v8_medium_train_250 wrench Detection preview by Segmentation_V11_large_300_train_300 wrench Detection preview by Segmentation_v8_large_300_train_300
Original Image: P06616.jpg
GT: scissors
scissor Detection preview by Box_v11_medium_train_SIXray_OPIXray No objects detected Detection preview by DN_Medium_300_yolov8m_20t7_new scissor Detection preview by Segmentatation_v8_medium_train_250 scissor Detection preview by Segmentation_V11_large_300_train_300 scissor Detection preview by Segmentation_v8_large_300_train_300
Original Image: P06617.jpg
GT: scissors
scissor Detection preview by Box_v11_medium_train_SIXray_OPIXray No objects detected Detection preview by DN_Medium_300_yolov8m_20t7_new scissor Detection preview by Segmentatation_v8_medium_train_250 scissor Detection preview by Segmentation_V11_large_300_train_300 scissor Detection preview by Segmentation_v8_large_300_train_300
Original Image: P06618.jpg
GT: wrench
wrench Detection preview by Box_v11_medium_train_SIXray_OPIXray scissor Detection preview by DN_Medium_300_yolov8m_20t7_new wrench Detection preview by Segmentatation_v8_medium_train_250 wrench Detection preview by Segmentation_V11_large_300_train_300 wrench Detection preview by Segmentation_v8_large_300_train_300
Original Image: P06619.jpg
GT: wrench
wrench Detection preview by Box_v11_medium_train_SIXray_OPIXray scissor Detection preview by DN_Medium_300_yolov8m_20t7_new wrench Detection preview by Segmentatation_v8_medium_train_250 wrench Detection preview by Segmentation_V11_large_300_train_300 wrench Detection preview by Segmentation_v8_large_300_train_300
Original Image: P06620.jpg
GT: pliers
pliers Detection preview by Box_v11_medium_train_SIXray_OPIXray pliers Detection preview by DN_Medium_300_yolov8m_20t7_new No objects detected Detection preview by Segmentatation_v8_medium_train_250 No objects detected Detection preview by Segmentation_V11_large_300_train_300 No objects detected Detection preview by Segmentation_v8_large_300_train_300
Original Image: P06621.jpg
GT: pliers
pliers Detection preview by Box_v11_medium_train_SIXray_OPIXray pliers Detection preview by DN_Medium_300_yolov8m_20t7_new No objects detected Detection preview by Segmentatation_v8_medium_train_250 No objects detected Detection preview by Segmentation_V11_large_300_train_300 No objects detected Detection preview by Segmentation_v8_large_300_train_300
Original Image: P06622.jpg
GT: pliers
pliers Detection preview by Box_v11_medium_train_SIXray_OPIXray pliers Detection preview by DN_Medium_300_yolov8m_20t7_new No objects detected Detection preview by Segmentatation_v8_medium_train_250 No objects detected Detection preview by Segmentation_V11_large_300_train_300 No objects detected Detection preview by Segmentation_v8_large_300_train_300
Original Image: P06623.jpg
GT: pliers, wrench
pliers, wrench Detection preview by Box_v11_medium_train_SIXray_OPIXray pliers Detection preview by DN_Medium_300_yolov8m_20t7_new wrench Detection preview by Segmentatation_v8_medium_train_250 wrench Detection preview by Segmentation_V11_large_300_train_300 wrench Detection preview by Segmentation_v8_large_300_train_300
Original Image: P06624.jpg
GT: pliers
pliers Detection preview by Box_v11_medium_train_SIXray_OPIXray No objects detected Detection preview by DN_Medium_300_yolov8m_20t7_new No objects detected Detection preview by Segmentatation_v8_medium_train_250 No objects detected Detection preview by Segmentation_V11_large_300_train_300 No objects detected Detection preview by Segmentation_v8_large_300_train_300
Original Image: P06625.jpg
GT: pliers
pliers Detection preview by Box_v11_medium_train_SIXray_OPIXray No objects detected Detection preview by DN_Medium_300_yolov8m_20t7_new No objects detected Detection preview by Segmentatation_v8_medium_train_250 No objects detected Detection preview by Segmentation_V11_large_300_train_300 No objects detected Detection preview by Segmentation_v8_large_300_train_300
Original Image: P06626.jpg
GT: pliers, wrench
pliers, wrench Detection preview by Box_v11_medium_train_SIXray_OPIXray pliers Detection preview by DN_Medium_300_yolov8m_20t7_new wrench Detection preview by Segmentatation_v8_medium_train_250 wrench Detection preview by Segmentation_V11_large_300_train_300 wrench Detection preview by Segmentation_v8_large_300_train_300
Original Image: P06627.jpg
GT: pliers, wrench
pliers, wrench Detection preview by Box_v11_medium_train_SIXray_OPIXray pliers Detection preview by DN_Medium_300_yolov8m_20t7_new wrench Detection preview by Segmentatation_v8_medium_train_250 wrench Detection preview by Segmentation_V11_large_300_train_300 wrench Detection preview by Segmentation_v8_large_300_train_300
Original Image: P06628.jpg
GT: pliers, wrench
pliers, wrench Detection preview by Box_v11_medium_train_SIXray_OPIXray pliers Detection preview by DN_Medium_300_yolov8m_20t7_new wrench Detection preview by Segmentatation_v8_medium_train_250 wrench Detection preview by Segmentation_V11_large_300_train_300 wrench Detection preview by Segmentation_v8_large_300_train_300
Original Image: P06629.jpg
GT: pliers, wrench
pliers, wrench Detection preview by Box_v11_medium_train_SIXray_OPIXray pliers Detection preview by DN_Medium_300_yolov8m_20t7_new wrench Detection preview by Segmentatation_v8_medium_train_250 wrench Detection preview by Segmentation_V11_large_300_train_300 wrench Detection preview by Segmentation_v8_large_300_train_300
Original Image: P06630.jpg
GT: wrench
wrench Detection preview by Box_v11_medium_train_SIXray_OPIXray No objects detected Detection preview by DN_Medium_300_yolov8m_20t7_new wrench Detection preview by Segmentatation_v8_medium_train_250 wrench Detection preview by Segmentation_V11_large_300_train_300 wrench Detection preview by Segmentation_v8_large_300_train_300
Original Image: P06631.jpg
GT: pliers
pliers Detection preview by Box_v11_medium_train_SIXray_OPIXray No objects detected Detection preview by DN_Medium_300_yolov8m_20t7_new No objects detected Detection preview by Segmentatation_v8_medium_train_250 No objects detected Detection preview by Segmentation_V11_large_300_train_300 No objects detected Detection preview by Segmentation_v8_large_300_train_300
Original Image: P06632.jpg
GT: pliers, wrench
pliers, wrench Detection preview by Box_v11_medium_train_SIXray_OPIXray No objects detected Detection preview by DN_Medium_300_yolov8m_20t7_new wrench Detection preview by Segmentatation_v8_medium_train_250 wrench Detection preview by Segmentation_V11_large_300_train_300 wrench Detection preview by Segmentation_v8_large_300_train_300
Original Image: P06633.jpg
GT: pliers, wrench
pliers, wrench Detection preview by Box_v11_medium_train_SIXray_OPIXray No objects detected Detection preview by DN_Medium_300_yolov8m_20t7_new wrench Detection preview by Segmentatation_v8_medium_train_250 wrench Detection preview by Segmentation_V11_large_300_train_300 wrench Detection preview by Segmentation_v8_large_300_train_300
Original Image: P06634.jpg
GT: pliers, wrench
pliers, wrench Detection preview by Box_v11_medium_train_SIXray_OPIXray No objects detected Detection preview by DN_Medium_300_yolov8m_20t7_new wrench Detection preview by Segmentatation_v8_medium_train_250 wrench Detection preview by Segmentation_V11_large_300_train_300 wrench Detection preview by Segmentation_v8_large_300_train_300
Original Image: P06635.jpg
GT: pliers
pliers Detection preview by Box_v11_medium_train_SIXray_OPIXray No objects detected Detection preview by DN_Medium_300_yolov8m_20t7_new No objects detected Detection preview by Segmentatation_v8_medium_train_250 No objects detected Detection preview by Segmentation_V11_large_300_train_300 No objects detected Detection preview by Segmentation_v8_large_300_train_300
Original Image: P06636.jpg
GT: pliers
pliers Detection preview by Box_v11_medium_train_SIXray_OPIXray No objects detected Detection preview by DN_Medium_300_yolov8m_20t7_new No objects detected Detection preview by Segmentatation_v8_medium_train_250 No objects detected Detection preview by Segmentation_V11_large_300_train_300 No objects detected Detection preview by Segmentation_v8_large_300_train_300
Original Image: P06637.jpg
GT: pliers
pliers Detection preview by Box_v11_medium_train_SIXray_OPIXray No objects detected Detection preview by DN_Medium_300_yolov8m_20t7_new No objects detected Detection preview by Segmentatation_v8_medium_train_250 No objects detected Detection preview by Segmentation_V11_large_300_train_300 No objects detected Detection preview by Segmentation_v8_large_300_train_300
Original Image: P06638.jpg
GT: pliers
pliers Detection preview by Box_v11_medium_train_SIXray_OPIXray No objects detected Detection preview by DN_Medium_300_yolov8m_20t7_new No objects detected Detection preview by Segmentatation_v8_medium_train_250 No objects detected Detection preview by Segmentation_V11_large_300_train_300 No objects detected Detection preview by Segmentation_v8_large_300_train_300
Original Image: P06639.jpg
GT: pliers
pliers Detection preview by Box_v11_medium_train_SIXray_OPIXray No objects detected Detection preview by DN_Medium_300_yolov8m_20t7_new No objects detected Detection preview by Segmentatation_v8_medium_train_250 No objects detected Detection preview by Segmentation_V11_large_300_train_300 No objects detected Detection preview by Segmentation_v8_large_300_train_300
Original Image: P06640.jpg
GT: pliers
pliers Detection preview by Box_v11_medium_train_SIXray_OPIXray No objects detected Detection preview by DN_Medium_300_yolov8m_20t7_new No objects detected Detection preview by Segmentatation_v8_medium_train_250 No objects detected Detection preview by Segmentation_V11_large_300_train_300 No objects detected Detection preview by Segmentation_v8_large_300_train_300
Original Image: P06641.jpg
GT: pliers
pliers Detection preview by Box_v11_medium_train_SIXray_OPIXray No objects detected Detection preview by DN_Medium_300_yolov8m_20t7_new No objects detected Detection preview by Segmentatation_v8_medium_train_250 No objects detected Detection preview by Segmentation_V11_large_300_train_300 No objects detected Detection preview by Segmentation_v8_large_300_train_300
Original Image: P06642.jpg
GT: pliers, wrench
pliers, wrench Detection preview by Box_v11_medium_train_SIXray_OPIXray pliers Detection preview by DN_Medium_300_yolov8m_20t7_new wrench Detection preview by Segmentatation_v8_medium_train_250 wrench Detection preview by Segmentation_V11_large_300_train_300 wrench Detection preview by Segmentation_v8_large_300_train_300
Original Image: P06643.jpg
GT: pliers
pliers Detection preview by Box_v11_medium_train_SIXray_OPIXray No objects detected Detection preview by DN_Medium_300_yolov8m_20t7_new No objects detected Detection preview by Segmentatation_v8_medium_train_250 No objects detected Detection preview by Segmentation_V11_large_300_train_300 No objects detected Detection preview by Segmentation_v8_large_300_train_300
Original Image: P06644.jpg
GT: pliers
pliers Detection preview by Box_v11_medium_train_SIXray_OPIXray No objects detected Detection preview by DN_Medium_300_yolov8m_20t7_new No objects detected Detection preview by Segmentatation_v8_medium_train_250 No objects detected Detection preview by Segmentation_V11_large_300_train_300 No objects detected Detection preview by Segmentation_v8_large_300_train_300
Original Image: P06645.jpg
GT: scissors
scissor Detection preview by Box_v11_medium_train_SIXray_OPIXray No objects detected Detection preview by DN_Medium_300_yolov8m_20t7_new scissor Detection preview by Segmentatation_v8_medium_train_250 scissor Detection preview by Segmentation_V11_large_300_train_300 scissor Detection preview by Segmentation_v8_large_300_train_300
Original Image: P06646.jpg
GT: scissors
scissor Detection preview by Box_v11_medium_train_SIXray_OPIXray scissor Detection preview by DN_Medium_300_yolov8m_20t7_new scissor Detection preview by Segmentatation_v8_medium_train_250 scissor Detection preview by Segmentation_V11_large_300_train_300 scissor Detection preview by Segmentation_v8_large_300_train_300
Original Image: P06647.jpg
GT: scissors
scissor Detection preview by Box_v11_medium_train_SIXray_OPIXray scissor Detection preview by DN_Medium_300_yolov8m_20t7_new scissor Detection preview by Segmentatation_v8_medium_train_250 scissor Detection preview by Segmentation_V11_large_300_train_300 scissor Detection preview by Segmentation_v8_large_300_train_300
Original Image: P06648.jpg
GT: pliers, wrench
pliers, wrench Detection preview by Box_v11_medium_train_SIXray_OPIXray No objects detected Detection preview by DN_Medium_300_yolov8m_20t7_new wrench Detection preview by Segmentatation_v8_medium_train_250 wrench Detection preview by Segmentation_V11_large_300_train_300 wrench Detection preview by Segmentation_v8_large_300_train_300
Original Image: P06649.jpg
GT: wrench
wrench Detection preview by Box_v11_medium_train_SIXray_OPIXray No objects detected Detection preview by DN_Medium_300_yolov8m_20t7_new wrench Detection preview by Segmentatation_v8_medium_train_250 wrench Detection preview by Segmentation_V11_large_300_train_300 wrench Detection preview by Segmentation_v8_large_300_train_300
Original Image: P06650.jpg
GT: wrench
wrench Detection preview by Box_v11_medium_train_SIXray_OPIXray No objects detected Detection preview by DN_Medium_300_yolov8m_20t7_new wrench Detection preview by Segmentatation_v8_medium_train_250 wrench Detection preview by Segmentation_V11_large_300_train_300 wrench Detection preview by Segmentation_v8_large_300_train_300
Original Image: P06651.jpg
GT: wrench
wrench Detection preview by Box_v11_medium_train_SIXray_OPIXray No objects detected Detection preview by DN_Medium_300_yolov8m_20t7_new wrench Detection preview by Segmentatation_v8_medium_train_250 wrench Detection preview by Segmentation_V11_large_300_train_300 wrench Detection preview by Segmentation_v8_large_300_train_300
Original Image: P06652.jpg
GT: wrench
wrench Detection preview by Box_v11_medium_train_SIXray_OPIXray No objects detected Detection preview by DN_Medium_300_yolov8m_20t7_new wrench Detection preview by Segmentatation_v8_medium_train_250 wrench Detection preview by Segmentation_V11_large_300_train_300 wrench Detection preview by Segmentation_v8_large_300_train_300
Original Image: P06653.jpg
GT: pliers
pliers Detection preview by Box_v11_medium_train_SIXray_OPIXray No objects detected Detection preview by DN_Medium_300_yolov8m_20t7_new wrench Detection preview by Segmentatation_v8_medium_train_250 wrench Detection preview by Segmentation_V11_large_300_train_300 No objects detected Detection preview by Segmentation_v8_large_300_train_300
Original Image: P06654.jpg
GT: pliers
pliers Detection preview by Box_v11_medium_train_SIXray_OPIXray No objects detected Detection preview by DN_Medium_300_yolov8m_20t7_new No objects detected Detection preview by Segmentatation_v8_medium_train_250 wrench Detection preview by Segmentation_V11_large_300_train_300 No objects detected Detection preview by Segmentation_v8_large_300_train_300
Original Image: P06655.jpg
GT: pliers
pliers Detection preview by Box_v11_medium_train_SIXray_OPIXray No objects detected Detection preview by DN_Medium_300_yolov8m_20t7_new No objects detected Detection preview by Segmentatation_v8_medium_train_250 No objects detected Detection preview by Segmentation_V11_large_300_train_300 No objects detected Detection preview by Segmentation_v8_large_300_train_300
Original Image: P06656.jpg
GT: pliers
pliers Detection preview by Box_v11_medium_train_SIXray_OPIXray pliers Detection preview by DN_Medium_300_yolov8m_20t7_new No objects detected Detection preview by Segmentatation_v8_medium_train_250 No objects detected Detection preview by Segmentation_V11_large_300_train_300 No objects detected Detection preview by Segmentation_v8_large_300_train_300
Original Image: P06657.jpg
GT: wrench
wrench Detection preview by Box_v11_medium_train_SIXray_OPIXray No objects detected Detection preview by DN_Medium_300_yolov8m_20t7_new wrench Detection preview by Segmentatation_v8_medium_train_250 wrench Detection preview by Segmentation_V11_large_300_train_300 wrench Detection preview by Segmentation_v8_large_300_train_300
Original Image: P06658.jpg
GT: wrench
wrench Detection preview by Box_v11_medium_train_SIXray_OPIXray pliers Detection preview by DN_Medium_300_yolov8m_20t7_new wrench Detection preview by Segmentatation_v8_medium_train_250 wrench Detection preview by Segmentation_V11_large_300_train_300 wrench Detection preview by Segmentation_v8_large_300_train_300
Original Image: P06659.jpg
GT: wrench
wrench Detection preview by Box_v11_medium_train_SIXray_OPIXray pliers Detection preview by DN_Medium_300_yolov8m_20t7_new wrench Detection preview by Segmentatation_v8_medium_train_250 wrench Detection preview by Segmentation_V11_large_300_train_300 wrench Detection preview by Segmentation_v8_large_300_train_300
Original Image: P06660.jpg
GT: wrench
wrench Detection preview by Box_v11_medium_train_SIXray_OPIXray pliers Detection preview by DN_Medium_300_yolov8m_20t7_new wrench Detection preview by Segmentatation_v8_medium_train_250 wrench Detection preview by Segmentation_V11_large_300_train_300 wrench Detection preview by Segmentation_v8_large_300_train_300
Original Image: P06661.jpg
GT: wrench
wrench Detection preview by Box_v11_medium_train_SIXray_OPIXray No objects detected Detection preview by DN_Medium_300_yolov8m_20t7_new wrench Detection preview by Segmentatation_v8_medium_train_250 wrench Detection preview by Segmentation_V11_large_300_train_300 wrench Detection preview by Segmentation_v8_large_300_train_300
Original Image: P06662.jpg
GT: pliers
pliers Detection preview by Box_v11_medium_train_SIXray_OPIXray No objects detected Detection preview by DN_Medium_300_yolov8m_20t7_new No objects detected Detection preview by Segmentatation_v8_medium_train_250 No objects detected Detection preview by Segmentation_V11_large_300_train_300 No objects detected Detection preview by Segmentation_v8_large_300_train_300
Original Image: P06663.jpg
GT: pliers
pliers Detection preview by Box_v11_medium_train_SIXray_OPIXray No objects detected Detection preview by DN_Medium_300_yolov8m_20t7_new No objects detected Detection preview by Segmentatation_v8_medium_train_250 No objects detected Detection preview by Segmentation_V11_large_300_train_300 No objects detected Detection preview by Segmentation_v8_large_300_train_300
Original Image: P06664.jpg
GT: pliers
pliers Detection preview by Box_v11_medium_train_SIXray_OPIXray No objects detected Detection preview by DN_Medium_300_yolov8m_20t7_new No objects detected Detection preview by Segmentatation_v8_medium_train_250 No objects detected Detection preview by Segmentation_V11_large_300_train_300 No objects detected Detection preview by Segmentation_v8_large_300_train_300
Original Image: P06665.jpg
GT: pliers
pliers Detection preview by Box_v11_medium_train_SIXray_OPIXray No objects detected Detection preview by DN_Medium_300_yolov8m_20t7_new No objects detected Detection preview by Segmentatation_v8_medium_train_250 No objects detected Detection preview by Segmentation_V11_large_300_train_300 No objects detected Detection preview by Segmentation_v8_large_300_train_300
Original Image: P06666.jpg
GT: scissors
scissor Detection preview by Box_v11_medium_train_SIXray_OPIXray No objects detected Detection preview by DN_Medium_300_yolov8m_20t7_new scissor Detection preview by Segmentatation_v8_medium_train_250 scissor Detection preview by Segmentation_V11_large_300_train_300 scissor Detection preview by Segmentation_v8_large_300_train_300
Original Image: P06667.jpg
GT: pliers, wrench
pliers, wrench Detection preview by Box_v11_medium_train_SIXray_OPIXray No objects detected Detection preview by DN_Medium_300_yolov8m_20t7_new wrench Detection preview by Segmentatation_v8_medium_train_250 wrench Detection preview by Segmentation_V11_large_300_train_300 wrench Detection preview by Segmentation_v8_large_300_train_300
Original Image: P06668.jpg
GT: pliers, wrench
pliers, wrench Detection preview by Box_v11_medium_train_SIXray_OPIXray No objects detected Detection preview by DN_Medium_300_yolov8m_20t7_new wrench Detection preview by Segmentatation_v8_medium_train_250 wrench Detection preview by Segmentation_V11_large_300_train_300 wrench Detection preview by Segmentation_v8_large_300_train_300
Original Image: P06669.jpg
GT: pliers, wrench
pliers, wrench Detection preview by Box_v11_medium_train_SIXray_OPIXray No objects detected Detection preview by DN_Medium_300_yolov8m_20t7_new wrench Detection preview by Segmentatation_v8_medium_train_250 wrench Detection preview by Segmentation_V11_large_300_train_300 wrench Detection preview by Segmentation_v8_large_300_train_300
Original Image: P06670.jpg
GT: pliers
pliers Detection preview by Box_v11_medium_train_SIXray_OPIXray No objects detected Detection preview by DN_Medium_300_yolov8m_20t7_new No objects detected Detection preview by Segmentatation_v8_medium_train_250 No objects detected Detection preview by Segmentation_V11_large_300_train_300 No objects detected Detection preview by Segmentation_v8_large_300_train_300
Original Image: P06671.jpg
GT: pliers
pliers Detection preview by Box_v11_medium_train_SIXray_OPIXray No objects detected Detection preview by DN_Medium_300_yolov8m_20t7_new No objects detected Detection preview by Segmentatation_v8_medium_train_250 No objects detected Detection preview by Segmentation_V11_large_300_train_300 No objects detected Detection preview by Segmentation_v8_large_300_train_300
Original Image: P06672.jpg
GT: pliers
pliers Detection preview by Box_v11_medium_train_SIXray_OPIXray No objects detected Detection preview by DN_Medium_300_yolov8m_20t7_new No objects detected Detection preview by Segmentatation_v8_medium_train_250 No objects detected Detection preview by Segmentation_V11_large_300_train_300 No objects detected Detection preview by Segmentation_v8_large_300_train_300
Original Image: P06673.jpg
GT: pliers
pliers Detection preview by Box_v11_medium_train_SIXray_OPIXray No objects detected Detection preview by DN_Medium_300_yolov8m_20t7_new No objects detected Detection preview by Segmentatation_v8_medium_train_250 No objects detected Detection preview by Segmentation_V11_large_300_train_300 No objects detected Detection preview by Segmentation_v8_large_300_train_300
Original Image: P06674.jpg
GT: scissors
scissor Detection preview by Box_v11_medium_train_SIXray_OPIXray No objects detected Detection preview by DN_Medium_300_yolov8m_20t7_new scissor Detection preview by Segmentatation_v8_medium_train_250 scissor Detection preview by Segmentation_V11_large_300_train_300 scissor Detection preview by Segmentation_v8_large_300_train_300
Original Image: P06675.jpg
GT: wrench
wrench Detection preview by Box_v11_medium_train_SIXray_OPIXray No objects detected Detection preview by DN_Medium_300_yolov8m_20t7_new wrench Detection preview by Segmentatation_v8_medium_train_250 wrench Detection preview by Segmentation_V11_large_300_train_300 wrench Detection preview by Segmentation_v8_large_300_train_300
Original Image: P06676.jpg
GT: wrench
wrench Detection preview by Box_v11_medium_train_SIXray_OPIXray No objects detected Detection preview by DN_Medium_300_yolov8m_20t7_new wrench Detection preview by Segmentatation_v8_medium_train_250 wrench Detection preview by Segmentation_V11_large_300_train_300 wrench Detection preview by Segmentation_v8_large_300_train_300
Original Image: P06677.jpg
GT: wrench
wrench Detection preview by Box_v11_medium_train_SIXray_OPIXray No objects detected Detection preview by DN_Medium_300_yolov8m_20t7_new wrench Detection preview by Segmentatation_v8_medium_train_250 wrench Detection preview by Segmentation_V11_large_300_train_300 wrench Detection preview by Segmentation_v8_large_300_train_300
Original Image: P06678.jpg
GT: pliers
pliers Detection preview by Box_v11_medium_train_SIXray_OPIXray No objects detected Detection preview by DN_Medium_300_yolov8m_20t7_new No objects detected Detection preview by Segmentatation_v8_medium_train_250 No objects detected Detection preview by Segmentation_V11_large_300_train_300 No objects detected Detection preview by Segmentation_v8_large_300_train_300
Original Image: P06679.jpg
GT: pliers
pliers Detection preview by Box_v11_medium_train_SIXray_OPIXray No objects detected Detection preview by DN_Medium_300_yolov8m_20t7_new No objects detected Detection preview by Segmentatation_v8_medium_train_250 No objects detected Detection preview by Segmentation_V11_large_300_train_300 No objects detected Detection preview by Segmentation_v8_large_300_train_300
Original Image: P06680.jpg
GT: pliers
pliers Detection preview by Box_v11_medium_train_SIXray_OPIXray No objects detected Detection preview by DN_Medium_300_yolov8m_20t7_new No objects detected Detection preview by Segmentatation_v8_medium_train_250 No objects detected Detection preview by Segmentation_V11_large_300_train_300 No objects detected Detection preview by Segmentation_v8_large_300_train_300
Original Image: P06681.jpg
GT: scissors
scissor Detection preview by Box_v11_medium_train_SIXray_OPIXray No objects detected Detection preview by DN_Medium_300_yolov8m_20t7_new scissor Detection preview by Segmentatation_v8_medium_train_250 scissor Detection preview by Segmentation_V11_large_300_train_300 scissor Detection preview by Segmentation_v8_large_300_train_300
Original Image: P06682.jpg
GT: pliers, wrench
pliers, wrench Detection preview by Box_v11_medium_train_SIXray_OPIXray pliers Detection preview by DN_Medium_300_yolov8m_20t7_new wrench Detection preview by Segmentatation_v8_medium_train_250 wrench Detection preview by Segmentation_V11_large_300_train_300 wrench Detection preview by Segmentation_v8_large_300_train_300
Original Image: P06683.jpg
GT: pliers
pliers Detection preview by Box_v11_medium_train_SIXray_OPIXray No objects detected Detection preview by DN_Medium_300_yolov8m_20t7_new No objects detected Detection preview by Segmentatation_v8_medium_train_250 No objects detected Detection preview by Segmentation_V11_large_300_train_300 No objects detected Detection preview by Segmentation_v8_large_300_train_300
Original Image: P06684.jpg
GT: pliers
pliers Detection preview by Box_v11_medium_train_SIXray_OPIXray No objects detected Detection preview by DN_Medium_300_yolov8m_20t7_new No objects detected Detection preview by Segmentatation_v8_medium_train_250 No objects detected Detection preview by Segmentation_V11_large_300_train_300 No objects detected Detection preview by Segmentation_v8_large_300_train_300
Original Image: P06685.jpg
GT: scissors
scissor Detection preview by Box_v11_medium_train_SIXray_OPIXray No objects detected Detection preview by DN_Medium_300_yolov8m_20t7_new scissor Detection preview by Segmentatation_v8_medium_train_250 scissor Detection preview by Segmentation_V11_large_300_train_300 scissor Detection preview by Segmentation_v8_large_300_train_300
Original Image: P06686.jpg
GT: pliers
pliers Detection preview by Box_v11_medium_train_SIXray_OPIXray scissor Detection preview by DN_Medium_300_yolov8m_20t7_new No objects detected Detection preview by Segmentatation_v8_medium_train_250 No objects detected Detection preview by Segmentation_V11_large_300_train_300 No objects detected Detection preview by Segmentation_v8_large_300_train_300
Original Image: P06687.jpg
GT: pliers
pliers Detection preview by Box_v11_medium_train_SIXray_OPIXray No objects detected Detection preview by DN_Medium_300_yolov8m_20t7_new No objects detected Detection preview by Segmentatation_v8_medium_train_250 No objects detected Detection preview by Segmentation_V11_large_300_train_300 No objects detected Detection preview by Segmentation_v8_large_300_train_300
Original Image: P06688.jpg
GT: pliers
pliers Detection preview by Box_v11_medium_train_SIXray_OPIXray No objects detected Detection preview by DN_Medium_300_yolov8m_20t7_new No objects detected Detection preview by Segmentatation_v8_medium_train_250 No objects detected Detection preview by Segmentation_V11_large_300_train_300 No objects detected Detection preview by Segmentation_v8_large_300_train_300
Original Image: P06689.jpg
GT: pliers
pliers Detection preview by Box_v11_medium_train_SIXray_OPIXray No objects detected Detection preview by DN_Medium_300_yolov8m_20t7_new No objects detected Detection preview by Segmentatation_v8_medium_train_250 No objects detected Detection preview by Segmentation_V11_large_300_train_300 No objects detected Detection preview by Segmentation_v8_large_300_train_300
Original Image: P06690.jpg
GT: pliers
pliers Detection preview by Box_v11_medium_train_SIXray_OPIXray No objects detected Detection preview by DN_Medium_300_yolov8m_20t7_new No objects detected Detection preview by Segmentatation_v8_medium_train_250 No objects detected Detection preview by Segmentation_V11_large_300_train_300 No objects detected Detection preview by Segmentation_v8_large_300_train_300
Original Image: P06691.jpg
GT: scissors
scissor Detection preview by Box_v11_medium_train_SIXray_OPIXray No objects detected Detection preview by DN_Medium_300_yolov8m_20t7_new scissor Detection preview by Segmentatation_v8_medium_train_250 scissor Detection preview by Segmentation_V11_large_300_train_300 scissor Detection preview by Segmentation_v8_large_300_train_300
Original Image: P06692.jpg
GT: scissors
scissor Detection preview by Box_v11_medium_train_SIXray_OPIXray No objects detected Detection preview by DN_Medium_300_yolov8m_20t7_new scissor Detection preview by Segmentatation_v8_medium_train_250 scissor Detection preview by Segmentation_V11_large_300_train_300 scissor Detection preview by Segmentation_v8_large_300_train_300
Original Image: P06693.jpg
GT: pliers
pliers Detection preview by Box_v11_medium_train_SIXray_OPIXray No objects detected Detection preview by DN_Medium_300_yolov8m_20t7_new No objects detected Detection preview by Segmentatation_v8_medium_train_250 wrench Detection preview by Segmentation_V11_large_300_train_300 No objects detected Detection preview by Segmentation_v8_large_300_train_300
Original Image: P06694.jpg
GT: pliers
pliers Detection preview by Box_v11_medium_train_SIXray_OPIXray No objects detected Detection preview by DN_Medium_300_yolov8m_20t7_new No objects detected Detection preview by Segmentatation_v8_medium_train_250 wrench Detection preview by Segmentation_V11_large_300_train_300 No objects detected Detection preview by Segmentation_v8_large_300_train_300
Original Image: P06695.jpg
GT: wrench
wrench Detection preview by Box_v11_medium_train_SIXray_OPIXray No objects detected Detection preview by DN_Medium_300_yolov8m_20t7_new wrench Detection preview by Segmentatation_v8_medium_train_250 wrench Detection preview by Segmentation_V11_large_300_train_300 wrench Detection preview by Segmentation_v8_large_300_train_300
Original Image: P06696.jpg
GT: pliers
pliers Detection preview by Box_v11_medium_train_SIXray_OPIXray No objects detected Detection preview by DN_Medium_300_yolov8m_20t7_new No objects detected Detection preview by Segmentatation_v8_medium_train_250 No objects detected Detection preview by Segmentation_V11_large_300_train_300 No objects detected Detection preview by Segmentation_v8_large_300_train_300
Original Image: P06697.jpg
GT: pliers
pliers Detection preview by Box_v11_medium_train_SIXray_OPIXray No objects detected Detection preview by DN_Medium_300_yolov8m_20t7_new No objects detected Detection preview by Segmentatation_v8_medium_train_250 No objects detected Detection preview by Segmentation_V11_large_300_train_300 No objects detected Detection preview by Segmentation_v8_large_300_train_300
Original Image: P06698.jpg
GT: pliers
pliers Detection preview by Box_v11_medium_train_SIXray_OPIXray No objects detected Detection preview by DN_Medium_300_yolov8m_20t7_new No objects detected Detection preview by Segmentatation_v8_medium_train_250 No objects detected Detection preview by Segmentation_V11_large_300_train_300 No objects detected Detection preview by Segmentation_v8_large_300_train_300
Original Image: P06699.jpg
GT: pliers
pliers Detection preview by Box_v11_medium_train_SIXray_OPIXray No objects detected Detection preview by DN_Medium_300_yolov8m_20t7_new No objects detected Detection preview by Segmentatation_v8_medium_train_250 No objects detected Detection preview by Segmentation_V11_large_300_train_300 No objects detected Detection preview by Segmentation_v8_large_300_train_300
Original Image: P06700.jpg
GT: pliers
pliers Detection preview by Box_v11_medium_train_SIXray_OPIXray No objects detected Detection preview by DN_Medium_300_yolov8m_20t7_new No objects detected Detection preview by Segmentatation_v8_medium_train_250 No objects detected Detection preview by Segmentation_V11_large_300_train_300 No objects detected Detection preview by Segmentation_v8_large_300_train_300
Original Image: P06701.jpg
GT: pliers
pliers Detection preview by Box_v11_medium_train_SIXray_OPIXray No objects detected Detection preview by DN_Medium_300_yolov8m_20t7_new No objects detected Detection preview by Segmentatation_v8_medium_train_250 No objects detected Detection preview by Segmentation_V11_large_300_train_300 No objects detected Detection preview by Segmentation_v8_large_300_train_300
Original Image: P06702.jpg
GT: pliers
pliers Detection preview by Box_v11_medium_train_SIXray_OPIXray No objects detected Detection preview by DN_Medium_300_yolov8m_20t7_new No objects detected Detection preview by Segmentatation_v8_medium_train_250 No objects detected Detection preview by Segmentation_V11_large_300_train_300 No objects detected Detection preview by Segmentation_v8_large_300_train_300
Original Image: P06703.jpg
GT: pliers
pliers Detection preview by Box_v11_medium_train_SIXray_OPIXray No objects detected Detection preview by DN_Medium_300_yolov8m_20t7_new No objects detected Detection preview by Segmentatation_v8_medium_train_250 No objects detected Detection preview by Segmentation_V11_large_300_train_300 No objects detected Detection preview by Segmentation_v8_large_300_train_300
Original Image: P06704.jpg
GT: pliers
pliers Detection preview by Box_v11_medium_train_SIXray_OPIXray No objects detected Detection preview by DN_Medium_300_yolov8m_20t7_new No objects detected Detection preview by Segmentatation_v8_medium_train_250 No objects detected Detection preview by Segmentation_V11_large_300_train_300 No objects detected Detection preview by Segmentation_v8_large_300_train_300
Original Image: P06705.jpg
GT: pliers
pliers Detection preview by Box_v11_medium_train_SIXray_OPIXray No objects detected Detection preview by DN_Medium_300_yolov8m_20t7_new No objects detected Detection preview by Segmentatation_v8_medium_train_250 No objects detected Detection preview by Segmentation_V11_large_300_train_300 No objects detected Detection preview by Segmentation_v8_large_300_train_300
Original Image: P06706.jpg
GT: pliers
pliers Detection preview by Box_v11_medium_train_SIXray_OPIXray pliers Detection preview by DN_Medium_300_yolov8m_20t7_new No objects detected Detection preview by Segmentatation_v8_medium_train_250 No objects detected Detection preview by Segmentation_V11_large_300_train_300 No objects detected Detection preview by Segmentation_v8_large_300_train_300
Original Image: P06707.jpg
GT: pliers
pliers Detection preview by Box_v11_medium_train_SIXray_OPIXray pliers Detection preview by DN_Medium_300_yolov8m_20t7_new No objects detected Detection preview by Segmentatation_v8_medium_train_250 No objects detected Detection preview by Segmentation_V11_large_300_train_300 No objects detected Detection preview by Segmentation_v8_large_300_train_300
Original Image: P06708.jpg
GT: wrench
wrench Detection preview by Box_v11_medium_train_SIXray_OPIXray No objects detected Detection preview by DN_Medium_300_yolov8m_20t7_new wrench Detection preview by Segmentatation_v8_medium_train_250 wrench Detection preview by Segmentation_V11_large_300_train_300 wrench Detection preview by Segmentation_v8_large_300_train_300
Original Image: P06709.jpg
GT: wrench
wrench Detection preview by Box_v11_medium_train_SIXray_OPIXray No objects detected Detection preview by DN_Medium_300_yolov8m_20t7_new wrench Detection preview by Segmentatation_v8_medium_train_250 wrench Detection preview by Segmentation_V11_large_300_train_300 wrench Detection preview by Segmentation_v8_large_300_train_300
Original Image: P06710.jpg
GT: pliers, wrench
pliers, wrench Detection preview by Box_v11_medium_train_SIXray_OPIXray No objects detected Detection preview by DN_Medium_300_yolov8m_20t7_new wrench Detection preview by Segmentatation_v8_medium_train_250 wrench Detection preview by Segmentation_V11_large_300_train_300 wrench Detection preview by Segmentation_v8_large_300_train_300
Original Image: P06711.jpg
GT: pliers
pliers Detection preview by Box_v11_medium_train_SIXray_OPIXray No objects detected Detection preview by DN_Medium_300_yolov8m_20t7_new No objects detected Detection preview by Segmentatation_v8_medium_train_250 No objects detected Detection preview by Segmentation_V11_large_300_train_300 No objects detected Detection preview by Segmentation_v8_large_300_train_300
Original Image: P06712.jpg
GT: pliers
pliers Detection preview by Box_v11_medium_train_SIXray_OPIXray No objects detected Detection preview by DN_Medium_300_yolov8m_20t7_new No objects detected Detection preview by Segmentatation_v8_medium_train_250 No objects detected Detection preview by Segmentation_V11_large_300_train_300 No objects detected Detection preview by Segmentation_v8_large_300_train_300
Original Image: P06713.jpg
GT: pliers
pliers Detection preview by Box_v11_medium_train_SIXray_OPIXray No objects detected Detection preview by DN_Medium_300_yolov8m_20t7_new No objects detected Detection preview by Segmentatation_v8_medium_train_250 No objects detected Detection preview by Segmentation_V11_large_300_train_300 No objects detected Detection preview by Segmentation_v8_large_300_train_300
Original Image: P06714.jpg
GT: pliers
pliers Detection preview by Box_v11_medium_train_SIXray_OPIXray pliers Detection preview by DN_Medium_300_yolov8m_20t7_new No objects detected Detection preview by Segmentatation_v8_medium_train_250 No objects detected Detection preview by Segmentation_V11_large_300_train_300 No objects detected Detection preview by Segmentation_v8_large_300_train_300
Original Image: P06715.jpg
GT: pliers
pliers Detection preview by Box_v11_medium_train_SIXray_OPIXray pliers Detection preview by DN_Medium_300_yolov8m_20t7_new No objects detected Detection preview by Segmentatation_v8_medium_train_250 No objects detected Detection preview by Segmentation_V11_large_300_train_300 No objects detected Detection preview by Segmentation_v8_large_300_train_300
Original Image: P06716.jpg
GT: pliers
pliers Detection preview by Box_v11_medium_train_SIXray_OPIXray pliers Detection preview by DN_Medium_300_yolov8m_20t7_new No objects detected Detection preview by Segmentatation_v8_medium_train_250 No objects detected Detection preview by Segmentation_V11_large_300_train_300 No objects detected Detection preview by Segmentation_v8_large_300_train_300
Original Image: P06717.jpg
GT: pliers
pliers Detection preview by Box_v11_medium_train_SIXray_OPIXray No objects detected Detection preview by DN_Medium_300_yolov8m_20t7_new No objects detected Detection preview by Segmentatation_v8_medium_train_250 scissor Detection preview by Segmentation_V11_large_300_train_300 No objects detected Detection preview by Segmentation_v8_large_300_train_300
Original Image: P06718.jpg
GT: wrench
wrench Detection preview by Box_v11_medium_train_SIXray_OPIXray No objects detected Detection preview by DN_Medium_300_yolov8m_20t7_new wrench Detection preview by Segmentatation_v8_medium_train_250 wrench Detection preview by Segmentation_V11_large_300_train_300 wrench Detection preview by Segmentation_v8_large_300_train_300
Original Image: P06719.jpg
GT: wrench
wrench Detection preview by Box_v11_medium_train_SIXray_OPIXray No objects detected Detection preview by DN_Medium_300_yolov8m_20t7_new wrench Detection preview by Segmentatation_v8_medium_train_250 wrench Detection preview by Segmentation_V11_large_300_train_300 wrench Detection preview by Segmentation_v8_large_300_train_300
Original Image: P06720.jpg
GT: pliers
pliers Detection preview by Box_v11_medium_train_SIXray_OPIXray No objects detected Detection preview by DN_Medium_300_yolov8m_20t7_new No objects detected Detection preview by Segmentatation_v8_medium_train_250 No objects detected Detection preview by Segmentation_V11_large_300_train_300 No objects detected Detection preview by Segmentation_v8_large_300_train_300
Original Image: P06721.jpg
GT: pliers
pliers Detection preview by Box_v11_medium_train_SIXray_OPIXray No objects detected Detection preview by DN_Medium_300_yolov8m_20t7_new No objects detected Detection preview by Segmentatation_v8_medium_train_250 No objects detected Detection preview by Segmentation_V11_large_300_train_300 No objects detected Detection preview by Segmentation_v8_large_300_train_300
Original Image: P06722.jpg
GT: pliers
pliers Detection preview by Box_v11_medium_train_SIXray_OPIXray No objects detected Detection preview by DN_Medium_300_yolov8m_20t7_new wrench Detection preview by Segmentatation_v8_medium_train_250 scissor Detection preview by Segmentation_V11_large_300_train_300 No objects detected Detection preview by Segmentation_v8_large_300_train_300
Original Image: P06723.jpg
GT: wrench
wrench Detection preview by Box_v11_medium_train_SIXray_OPIXray No objects detected Detection preview by DN_Medium_300_yolov8m_20t7_new wrench Detection preview by Segmentatation_v8_medium_train_250 wrench Detection preview by Segmentation_V11_large_300_train_300 wrench Detection preview by Segmentation_v8_large_300_train_300
Original Image: P06724.jpg
GT: pliers
pliers Detection preview by Box_v11_medium_train_SIXray_OPIXray No objects detected Detection preview by DN_Medium_300_yolov8m_20t7_new No objects detected Detection preview by Segmentatation_v8_medium_train_250 No objects detected Detection preview by Segmentation_V11_large_300_train_300 No objects detected Detection preview by Segmentation_v8_large_300_train_300
Original Image: P06725.jpg
GT: pliers
pliers Detection preview by Box_v11_medium_train_SIXray_OPIXray No objects detected Detection preview by DN_Medium_300_yolov8m_20t7_new No objects detected Detection preview by Segmentatation_v8_medium_train_250 No objects detected Detection preview by Segmentation_V11_large_300_train_300 No objects detected Detection preview by Segmentation_v8_large_300_train_300
Original Image: P06726.jpg
GT: scissors
scissor Detection preview by Box_v11_medium_train_SIXray_OPIXray No objects detected Detection preview by DN_Medium_300_yolov8m_20t7_new scissor Detection preview by Segmentatation_v8_medium_train_250 scissor Detection preview by Segmentation_V11_large_300_train_300 scissor Detection preview by Segmentation_v8_large_300_train_300
Original Image: P06727.jpg
GT: scissors
scissor Detection preview by Box_v11_medium_train_SIXray_OPIXray No objects detected Detection preview by DN_Medium_300_yolov8m_20t7_new scissor Detection preview by Segmentatation_v8_medium_train_250 scissor Detection preview by Segmentation_V11_large_300_train_300 scissor Detection preview by Segmentation_v8_large_300_train_300
Original Image: P06728.jpg
GT: scissors
scissor Detection preview by Box_v11_medium_train_SIXray_OPIXray scissor Detection preview by DN_Medium_300_yolov8m_20t7_new scissor Detection preview by Segmentatation_v8_medium_train_250 scissor Detection preview by Segmentation_V11_large_300_train_300 scissor Detection preview by Segmentation_v8_large_300_train_300
Original Image: P06729.jpg
GT: pliers
pliers Detection preview by Box_v11_medium_train_SIXray_OPIXray No objects detected Detection preview by DN_Medium_300_yolov8m_20t7_new No objects detected Detection preview by Segmentatation_v8_medium_train_250 No objects detected Detection preview by Segmentation_V11_large_300_train_300 No objects detected Detection preview by Segmentation_v8_large_300_train_300
Original Image: P06730.jpg
GT: pliers
pliers Detection preview by Box_v11_medium_train_SIXray_OPIXray No objects detected Detection preview by DN_Medium_300_yolov8m_20t7_new No objects detected Detection preview by Segmentatation_v8_medium_train_250 No objects detected Detection preview by Segmentation_V11_large_300_train_300 No objects detected Detection preview by Segmentation_v8_large_300_train_300
Original Image: P06731.jpg
GT: wrench
wrench Detection preview by Box_v11_medium_train_SIXray_OPIXray No objects detected Detection preview by DN_Medium_300_yolov8m_20t7_new wrench Detection preview by Segmentatation_v8_medium_train_250 wrench Detection preview by Segmentation_V11_large_300_train_300 wrench Detection preview by Segmentation_v8_large_300_train_300
Original Image: P06732.jpg
GT: None
No objects detected Detection preview by Box_v11_medium_train_SIXray_OPIXray No objects detected Detection preview by DN_Medium_300_yolov8m_20t7_new No objects detected Detection preview by Segmentatation_v8_medium_train_250 No objects detected Detection preview by Segmentation_V11_large_300_train_300 No objects detected Detection preview by Segmentation_v8_large_300_train_300
Original Image: P06733.jpg
GT: None
No objects detected Detection preview by Box_v11_medium_train_SIXray_OPIXray No objects detected Detection preview by DN_Medium_300_yolov8m_20t7_new No objects detected Detection preview by Segmentatation_v8_medium_train_250 No objects detected Detection preview by Segmentation_V11_large_300_train_300 No objects detected Detection preview by Segmentation_v8_large_300_train_300
Original Image: P06734.jpg
GT: wrench
wrench Detection preview by Box_v11_medium_train_SIXray_OPIXray No objects detected Detection preview by DN_Medium_300_yolov8m_20t7_new wrench Detection preview by Segmentatation_v8_medium_train_250 wrench Detection preview by Segmentation_V11_large_300_train_300 wrench Detection preview by Segmentation_v8_large_300_train_300
Original Image: P06735.jpg
GT: wrench
wrench Detection preview by Box_v11_medium_train_SIXray_OPIXray No objects detected Detection preview by DN_Medium_300_yolov8m_20t7_new wrench Detection preview by Segmentatation_v8_medium_train_250 wrench Detection preview by Segmentation_V11_large_300_train_300 wrench Detection preview by Segmentation_v8_large_300_train_300
Original Image: P06736.jpg
GT: pliers
pliers Detection preview by Box_v11_medium_train_SIXray_OPIXray pliers Detection preview by DN_Medium_300_yolov8m_20t7_new No objects detected Detection preview by Segmentatation_v8_medium_train_250 No objects detected Detection preview by Segmentation_V11_large_300_train_300 No objects detected Detection preview by Segmentation_v8_large_300_train_300
Original Image: P06737.jpg
GT: pliers
pliers Detection preview by Box_v11_medium_train_SIXray_OPIXray pliers Detection preview by DN_Medium_300_yolov8m_20t7_new No objects detected Detection preview by Segmentatation_v8_medium_train_250 No objects detected Detection preview by Segmentation_V11_large_300_train_300 No objects detected Detection preview by Segmentation_v8_large_300_train_300
Original Image: P06738.jpg
GT: pliers, wrench
pliers, wrench Detection preview by Box_v11_medium_train_SIXray_OPIXray No objects detected Detection preview by DN_Medium_300_yolov8m_20t7_new wrench Detection preview by Segmentatation_v8_medium_train_250 wrench Detection preview by Segmentation_V11_large_300_train_300 wrench Detection preview by Segmentation_v8_large_300_train_300
Original Image: P06739.jpg
GT: knife, pliers, wrench
pliers, wrench Detection preview by Box_v11_medium_train_SIXray_OPIXray No objects detected Detection preview by DN_Medium_300_yolov8m_20t7_new wrench Detection preview by Segmentatation_v8_medium_train_250 wrench Detection preview by Segmentation_V11_large_300_train_300 wrench Detection preview by Segmentation_v8_large_300_train_300
Original Image: P06740.jpg
GT: pliers, wrench
pliers, wrench Detection preview by Box_v11_medium_train_SIXray_OPIXray No objects detected Detection preview by DN_Medium_300_yolov8m_20t7_new wrench Detection preview by Segmentatation_v8_medium_train_250 wrench Detection preview by Segmentation_V11_large_300_train_300 wrench Detection preview by Segmentation_v8_large_300_train_300
Original Image: P06741.jpg
GT: pliers, wrench
pliers, wrench Detection preview by Box_v11_medium_train_SIXray_OPIXray No objects detected Detection preview by DN_Medium_300_yolov8m_20t7_new wrench Detection preview by Segmentatation_v8_medium_train_250 wrench Detection preview by Segmentation_V11_large_300_train_300 wrench Detection preview by Segmentation_v8_large_300_train_300
Original Image: P06742.jpg
GT: pliers, wrench
pliers, wrench Detection preview by Box_v11_medium_train_SIXray_OPIXray No objects detected Detection preview by DN_Medium_300_yolov8m_20t7_new wrench Detection preview by Segmentatation_v8_medium_train_250 wrench Detection preview by Segmentation_V11_large_300_train_300 wrench Detection preview by Segmentation_v8_large_300_train_300
Original Image: P06743.jpg
GT: pliers, wrench
pliers, wrench Detection preview by Box_v11_medium_train_SIXray_OPIXray No objects detected Detection preview by DN_Medium_300_yolov8m_20t7_new wrench Detection preview by Segmentatation_v8_medium_train_250 wrench Detection preview by Segmentation_V11_large_300_train_300 wrench Detection preview by Segmentation_v8_large_300_train_300
Original Image: P06744.jpg
GT: pliers, wrench
pliers, wrench Detection preview by Box_v11_medium_train_SIXray_OPIXray No objects detected Detection preview by DN_Medium_300_yolov8m_20t7_new wrench Detection preview by Segmentatation_v8_medium_train_250 wrench Detection preview by Segmentation_V11_large_300_train_300 wrench Detection preview by Segmentation_v8_large_300_train_300
Original Image: P06745.jpg
GT: pliers, wrench
pliers, wrench Detection preview by Box_v11_medium_train_SIXray_OPIXray No objects detected Detection preview by DN_Medium_300_yolov8m_20t7_new wrench Detection preview by Segmentatation_v8_medium_train_250 wrench Detection preview by Segmentation_V11_large_300_train_300 wrench Detection preview by Segmentation_v8_large_300_train_300
Original Image: P06746.jpg
GT: pliers, wrench
pliers, wrench Detection preview by Box_v11_medium_train_SIXray_OPIXray No objects detected Detection preview by DN_Medium_300_yolov8m_20t7_new wrench Detection preview by Segmentatation_v8_medium_train_250 wrench Detection preview by Segmentation_V11_large_300_train_300 wrench Detection preview by Segmentation_v8_large_300_train_300
Original Image: P06747.jpg
GT: pliers, wrench
pliers, wrench Detection preview by Box_v11_medium_train_SIXray_OPIXray No objects detected Detection preview by DN_Medium_300_yolov8m_20t7_new wrench Detection preview by Segmentatation_v8_medium_train_250 wrench Detection preview by Segmentation_V11_large_300_train_300 wrench Detection preview by Segmentation_v8_large_300_train_300
Original Image: P06748.jpg
GT: pliers
pliers Detection preview by Box_v11_medium_train_SIXray_OPIXray No objects detected Detection preview by DN_Medium_300_yolov8m_20t7_new No objects detected Detection preview by Segmentatation_v8_medium_train_250 No objects detected Detection preview by Segmentation_V11_large_300_train_300 No objects detected Detection preview by Segmentation_v8_large_300_train_300
Original Image: P06749.jpg
GT: pliers
pliers Detection preview by Box_v11_medium_train_SIXray_OPIXray No objects detected Detection preview by DN_Medium_300_yolov8m_20t7_new No objects detected Detection preview by Segmentatation_v8_medium_train_250 No objects detected Detection preview by Segmentation_V11_large_300_train_300 No objects detected Detection preview by Segmentation_v8_large_300_train_300
Original Image: P06750.jpg
GT: pliers
pliers Detection preview by Box_v11_medium_train_SIXray_OPIXray No objects detected Detection preview by DN_Medium_300_yolov8m_20t7_new No objects detected Detection preview by Segmentatation_v8_medium_train_250 No objects detected Detection preview by Segmentation_V11_large_300_train_300 No objects detected Detection preview by Segmentation_v8_large_300_train_300
Original Image: P06751.jpg
GT: wrench
wrench Detection preview by Box_v11_medium_train_SIXray_OPIXray No objects detected Detection preview by DN_Medium_300_yolov8m_20t7_new wrench Detection preview by Segmentatation_v8_medium_train_250 wrench Detection preview by Segmentation_V11_large_300_train_300 wrench Detection preview by Segmentation_v8_large_300_train_300
Original Image: P06752.jpg
GT: wrench
wrench Detection preview by Box_v11_medium_train_SIXray_OPIXray No objects detected Detection preview by DN_Medium_300_yolov8m_20t7_new wrench Detection preview by Segmentatation_v8_medium_train_250 wrench Detection preview by Segmentation_V11_large_300_train_300 wrench Detection preview by Segmentation_v8_large_300_train_300
Original Image: P06753.jpg
GT: wrench
wrench Detection preview by Box_v11_medium_train_SIXray_OPIXray No objects detected Detection preview by DN_Medium_300_yolov8m_20t7_new wrench Detection preview by Segmentatation_v8_medium_train_250 wrench Detection preview by Segmentation_V11_large_300_train_300 wrench Detection preview by Segmentation_v8_large_300_train_300
Original Image: P06754.jpg
GT: wrench
wrench Detection preview by Box_v11_medium_train_SIXray_OPIXray No objects detected Detection preview by DN_Medium_300_yolov8m_20t7_new wrench Detection preview by Segmentatation_v8_medium_train_250 wrench Detection preview by Segmentation_V11_large_300_train_300 wrench Detection preview by Segmentation_v8_large_300_train_300
Original Image: P06755.jpg
GT: pliers, wrench
pliers, wrench Detection preview by Box_v11_medium_train_SIXray_OPIXray No objects detected Detection preview by DN_Medium_300_yolov8m_20t7_new wrench Detection preview by Segmentatation_v8_medium_train_250 wrench Detection preview by Segmentation_V11_large_300_train_300 wrench Detection preview by Segmentation_v8_large_300_train_300
Original Image: P06756.jpg
GT: pliers, wrench
pliers, wrench Detection preview by Box_v11_medium_train_SIXray_OPIXray No objects detected Detection preview by DN_Medium_300_yolov8m_20t7_new wrench Detection preview by Segmentatation_v8_medium_train_250 wrench Detection preview by Segmentation_V11_large_300_train_300 wrench Detection preview by Segmentation_v8_large_300_train_300
Original Image: P06757.jpg
GT: pliers, wrench
pliers, wrench Detection preview by Box_v11_medium_train_SIXray_OPIXray No objects detected Detection preview by DN_Medium_300_yolov8m_20t7_new wrench Detection preview by Segmentatation_v8_medium_train_250 wrench Detection preview by Segmentation_V11_large_300_train_300 wrench Detection preview by Segmentation_v8_large_300_train_300
Original Image: P06758.jpg
GT: pliers, wrench
pliers, wrench Detection preview by Box_v11_medium_train_SIXray_OPIXray No objects detected Detection preview by DN_Medium_300_yolov8m_20t7_new wrench Detection preview by Segmentatation_v8_medium_train_250 wrench Detection preview by Segmentation_V11_large_300_train_300 wrench Detection preview by Segmentation_v8_large_300_train_300
Original Image: P06759.jpg
GT: pliers, wrench
pliers, wrench Detection preview by Box_v11_medium_train_SIXray_OPIXray No objects detected Detection preview by DN_Medium_300_yolov8m_20t7_new wrench Detection preview by Segmentatation_v8_medium_train_250 wrench Detection preview by Segmentation_V11_large_300_train_300 wrench Detection preview by Segmentation_v8_large_300_train_300
Original Image: P06760.jpg
GT: pliers, wrench
pliers, wrench Detection preview by Box_v11_medium_train_SIXray_OPIXray No objects detected Detection preview by DN_Medium_300_yolov8m_20t7_new wrench Detection preview by Segmentatation_v8_medium_train_250 wrench Detection preview by Segmentation_V11_large_300_train_300 wrench Detection preview by Segmentation_v8_large_300_train_300
Original Image: P06761.jpg
GT: scissors
scissor Detection preview by Box_v11_medium_train_SIXray_OPIXray No objects detected Detection preview by DN_Medium_300_yolov8m_20t7_new scissor Detection preview by Segmentatation_v8_medium_train_250 scissor Detection preview by Segmentation_V11_large_300_train_300 scissor Detection preview by Segmentation_v8_large_300_train_300
Original Image: P06762.jpg
GT: scissors
scissor Detection preview by Box_v11_medium_train_SIXray_OPIXray No objects detected Detection preview by DN_Medium_300_yolov8m_20t7_new scissor Detection preview by Segmentatation_v8_medium_train_250 scissor Detection preview by Segmentation_V11_large_300_train_300 scissor Detection preview by Segmentation_v8_large_300_train_300
Original Image: P06763.jpg
GT: scissors
scissor Detection preview by Box_v11_medium_train_SIXray_OPIXray No objects detected Detection preview by DN_Medium_300_yolov8m_20t7_new No objects detected Detection preview by Segmentatation_v8_medium_train_250 scissor Detection preview by Segmentation_V11_large_300_train_300 scissor Detection preview by Segmentation_v8_large_300_train_300
Original Image: P06764.jpg
GT: scissors
scissor Detection preview by Box_v11_medium_train_SIXray_OPIXray No objects detected Detection preview by DN_Medium_300_yolov8m_20t7_new No objects detected Detection preview by Segmentatation_v8_medium_train_250 scissor Detection preview by Segmentation_V11_large_300_train_300 scissor Detection preview by Segmentation_v8_large_300_train_300
Original Image: P06765.jpg
GT: scissors
scissor Detection preview by Box_v11_medium_train_SIXray_OPIXray scissor Detection preview by DN_Medium_300_yolov8m_20t7_new scissor Detection preview by Segmentatation_v8_medium_train_250 scissor Detection preview by Segmentation_V11_large_300_train_300 scissor Detection preview by Segmentation_v8_large_300_train_300
Original Image: P06766.jpg
GT: scissors
scissor Detection preview by Box_v11_medium_train_SIXray_OPIXray scissor Detection preview by DN_Medium_300_yolov8m_20t7_new scissor Detection preview by Segmentatation_v8_medium_train_250 scissor Detection preview by Segmentation_V11_large_300_train_300 scissor Detection preview by Segmentation_v8_large_300_train_300
Original Image: P06767.jpg
GT: pliers
pliers Detection preview by Box_v11_medium_train_SIXray_OPIXray No objects detected Detection preview by DN_Medium_300_yolov8m_20t7_new No objects detected Detection preview by Segmentatation_v8_medium_train_250 No objects detected Detection preview by Segmentation_V11_large_300_train_300 No objects detected Detection preview by Segmentation_v8_large_300_train_300
Original Image: P06768.jpg
GT: pliers
pliers Detection preview by Box_v11_medium_train_SIXray_OPIXray No objects detected Detection preview by DN_Medium_300_yolov8m_20t7_new No objects detected Detection preview by Segmentatation_v8_medium_train_250 No objects detected Detection preview by Segmentation_V11_large_300_train_300 No objects detected Detection preview by Segmentation_v8_large_300_train_300
Original Image: P06769.jpg
GT: pliers
pliers Detection preview by Box_v11_medium_train_SIXray_OPIXray No objects detected Detection preview by DN_Medium_300_yolov8m_20t7_new No objects detected Detection preview by Segmentatation_v8_medium_train_250 No objects detected Detection preview by Segmentation_V11_large_300_train_300 No objects detected Detection preview by Segmentation_v8_large_300_train_300
Original Image: P06770.jpg
GT: wrench
wrench Detection preview by Box_v11_medium_train_SIXray_OPIXray No objects detected Detection preview by DN_Medium_300_yolov8m_20t7_new wrench Detection preview by Segmentatation_v8_medium_train_250 wrench Detection preview by Segmentation_V11_large_300_train_300 wrench Detection preview by Segmentation_v8_large_300_train_300
Original Image: P06771.jpg
GT: pliers
pliers Detection preview by Box_v11_medium_train_SIXray_OPIXray No objects detected Detection preview by DN_Medium_300_yolov8m_20t7_new No objects detected Detection preview by Segmentatation_v8_medium_train_250 No objects detected Detection preview by Segmentation_V11_large_300_train_300 No objects detected Detection preview by Segmentation_v8_large_300_train_300
Original Image: P06772.jpg
GT: pliers
pliers Detection preview by Box_v11_medium_train_SIXray_OPIXray No objects detected Detection preview by DN_Medium_300_yolov8m_20t7_new No objects detected Detection preview by Segmentatation_v8_medium_train_250 No objects detected Detection preview by Segmentation_V11_large_300_train_300 No objects detected Detection preview by Segmentation_v8_large_300_train_300
Original Image: P06773.jpg
GT: pliers
pliers Detection preview by Box_v11_medium_train_SIXray_OPIXray No objects detected Detection preview by DN_Medium_300_yolov8m_20t7_new No objects detected Detection preview by Segmentatation_v8_medium_train_250 No objects detected Detection preview by Segmentation_V11_large_300_train_300 No objects detected Detection preview by Segmentation_v8_large_300_train_300
Original Image: P06774.jpg
GT: pliers
pliers Detection preview by Box_v11_medium_train_SIXray_OPIXray No objects detected Detection preview by DN_Medium_300_yolov8m_20t7_new No objects detected Detection preview by Segmentatation_v8_medium_train_250 No objects detected Detection preview by Segmentation_V11_large_300_train_300 No objects detected Detection preview by Segmentation_v8_large_300_train_300
Original Image: P06775.jpg
GT: pliers
pliers Detection preview by Box_v11_medium_train_SIXray_OPIXray No objects detected Detection preview by DN_Medium_300_yolov8m_20t7_new No objects detected Detection preview by Segmentatation_v8_medium_train_250 No objects detected Detection preview by Segmentation_V11_large_300_train_300 No objects detected Detection preview by Segmentation_v8_large_300_train_300
Original Image: P06776.jpg
GT: pliers
pliers Detection preview by Box_v11_medium_train_SIXray_OPIXray No objects detected Detection preview by DN_Medium_300_yolov8m_20t7_new No objects detected Detection preview by Segmentatation_v8_medium_train_250 No objects detected Detection preview by Segmentation_V11_large_300_train_300 No objects detected Detection preview by Segmentation_v8_large_300_train_300
Original Image: P06777.jpg
GT: pliers
pliers Detection preview by Box_v11_medium_train_SIXray_OPIXray No objects detected Detection preview by DN_Medium_300_yolov8m_20t7_new No objects detected Detection preview by Segmentatation_v8_medium_train_250 No objects detected Detection preview by Segmentation_V11_large_300_train_300 No objects detected Detection preview by Segmentation_v8_large_300_train_300
Original Image: P06778.jpg
GT: pliers
pliers Detection preview by Box_v11_medium_train_SIXray_OPIXray No objects detected Detection preview by DN_Medium_300_yolov8m_20t7_new No objects detected Detection preview by Segmentatation_v8_medium_train_250 No objects detected Detection preview by Segmentation_V11_large_300_train_300 No objects detected Detection preview by Segmentation_v8_large_300_train_300
Original Image: P06779.jpg
GT: pliers, wrench
pliers, wrench Detection preview by Box_v11_medium_train_SIXray_OPIXray No objects detected Detection preview by DN_Medium_300_yolov8m_20t7_new wrench Detection preview by Segmentatation_v8_medium_train_250 wrench Detection preview by Segmentation_V11_large_300_train_300 wrench Detection preview by Segmentation_v8_large_300_train_300
Original Image: P06780.jpg
GT: pliers
pliers Detection preview by Box_v11_medium_train_SIXray_OPIXray No objects detected Detection preview by DN_Medium_300_yolov8m_20t7_new No objects detected Detection preview by Segmentatation_v8_medium_train_250 No objects detected Detection preview by Segmentation_V11_large_300_train_300 No objects detected Detection preview by Segmentation_v8_large_300_train_300
Original Image: P06781.jpg
GT: pliers
pliers Detection preview by Box_v11_medium_train_SIXray_OPIXray No objects detected Detection preview by DN_Medium_300_yolov8m_20t7_new No objects detected Detection preview by Segmentatation_v8_medium_train_250 No objects detected Detection preview by Segmentation_V11_large_300_train_300 No objects detected Detection preview by Segmentation_v8_large_300_train_300
Original Image: P06782.jpg
GT: pliers
pliers Detection preview by Box_v11_medium_train_SIXray_OPIXray No objects detected Detection preview by DN_Medium_300_yolov8m_20t7_new No objects detected Detection preview by Segmentatation_v8_medium_train_250 No objects detected Detection preview by Segmentation_V11_large_300_train_300 No objects detected Detection preview by Segmentation_v8_large_300_train_300
Original Image: P06783.jpg
GT: pliers
pliers Detection preview by Box_v11_medium_train_SIXray_OPIXray No objects detected Detection preview by DN_Medium_300_yolov8m_20t7_new No objects detected Detection preview by Segmentatation_v8_medium_train_250 No objects detected Detection preview by Segmentation_V11_large_300_train_300 No objects detected Detection preview by Segmentation_v8_large_300_train_300
Original Image: P06784.jpg
GT: pliers
pliers Detection preview by Box_v11_medium_train_SIXray_OPIXray pliers Detection preview by DN_Medium_300_yolov8m_20t7_new No objects detected Detection preview by Segmentatation_v8_medium_train_250 No objects detected Detection preview by Segmentation_V11_large_300_train_300 No objects detected Detection preview by Segmentation_v8_large_300_train_300
Original Image: P06785.jpg
GT: pliers
pliers Detection preview by Box_v11_medium_train_SIXray_OPIXray pliers Detection preview by DN_Medium_300_yolov8m_20t7_new No objects detected Detection preview by Segmentatation_v8_medium_train_250 No objects detected Detection preview by Segmentation_V11_large_300_train_300 No objects detected Detection preview by Segmentation_v8_large_300_train_300
Original Image: P06786.jpg
GT: pliers, wrench
pliers, wrench Detection preview by Box_v11_medium_train_SIXray_OPIXray No objects detected Detection preview by DN_Medium_300_yolov8m_20t7_new wrench Detection preview by Segmentatation_v8_medium_train_250 wrench Detection preview by Segmentation_V11_large_300_train_300 wrench Detection preview by Segmentation_v8_large_300_train_300
Original Image: P06787.jpg
GT: wrench
wrench Detection preview by Box_v11_medium_train_SIXray_OPIXray No objects detected Detection preview by DN_Medium_300_yolov8m_20t7_new wrench Detection preview by Segmentatation_v8_medium_train_250 wrench Detection preview by Segmentation_V11_large_300_train_300 wrench Detection preview by Segmentation_v8_large_300_train_300
Original Image: P06788.jpg
GT: wrench
wrench Detection preview by Box_v11_medium_train_SIXray_OPIXray No objects detected Detection preview by DN_Medium_300_yolov8m_20t7_new wrench Detection preview by Segmentatation_v8_medium_train_250 wrench Detection preview by Segmentation_V11_large_300_train_300 wrench Detection preview by Segmentation_v8_large_300_train_300
Original Image: P06789.jpg
GT: wrench
wrench Detection preview by Box_v11_medium_train_SIXray_OPIXray No objects detected Detection preview by DN_Medium_300_yolov8m_20t7_new wrench Detection preview by Segmentatation_v8_medium_train_250 wrench Detection preview by Segmentation_V11_large_300_train_300 wrench Detection preview by Segmentation_v8_large_300_train_300
Original Image: P06790.jpg
GT: wrench
wrench Detection preview by Box_v11_medium_train_SIXray_OPIXray No objects detected Detection preview by DN_Medium_300_yolov8m_20t7_new wrench Detection preview by Segmentatation_v8_medium_train_250 wrench Detection preview by Segmentation_V11_large_300_train_300 wrench Detection preview by Segmentation_v8_large_300_train_300
Original Image: P06791.jpg
GT: wrench
wrench Detection preview by Box_v11_medium_train_SIXray_OPIXray No objects detected Detection preview by DN_Medium_300_yolov8m_20t7_new wrench Detection preview by Segmentatation_v8_medium_train_250 wrench Detection preview by Segmentation_V11_large_300_train_300 wrench Detection preview by Segmentation_v8_large_300_train_300
Original Image: P06792.jpg
GT: pliers
pliers Detection preview by Box_v11_medium_train_SIXray_OPIXray No objects detected Detection preview by DN_Medium_300_yolov8m_20t7_new No objects detected Detection preview by Segmentatation_v8_medium_train_250 No objects detected Detection preview by Segmentation_V11_large_300_train_300 No objects detected Detection preview by Segmentation_v8_large_300_train_300
Original Image: P06793.jpg
GT: pliers
pliers Detection preview by Box_v11_medium_train_SIXray_OPIXray No objects detected Detection preview by DN_Medium_300_yolov8m_20t7_new No objects detected Detection preview by Segmentatation_v8_medium_train_250 No objects detected Detection preview by Segmentation_V11_large_300_train_300 No objects detected Detection preview by Segmentation_v8_large_300_train_300
Original Image: P06794.jpg
GT: pliers
pliers Detection preview by Box_v11_medium_train_SIXray_OPIXray No objects detected Detection preview by DN_Medium_300_yolov8m_20t7_new No objects detected Detection preview by Segmentatation_v8_medium_train_250 No objects detected Detection preview by Segmentation_V11_large_300_train_300 No objects detected Detection preview by Segmentation_v8_large_300_train_300
Original Image: P06795.jpg
GT: pliers
pliers Detection preview by Box_v11_medium_train_SIXray_OPIXray No objects detected Detection preview by DN_Medium_300_yolov8m_20t7_new No objects detected Detection preview by Segmentatation_v8_medium_train_250 No objects detected Detection preview by Segmentation_V11_large_300_train_300 No objects detected Detection preview by Segmentation_v8_large_300_train_300
Original Image: P06796.jpg
GT: pliers
pliers Detection preview by Box_v11_medium_train_SIXray_OPIXray No objects detected Detection preview by DN_Medium_300_yolov8m_20t7_new No objects detected Detection preview by Segmentatation_v8_medium_train_250 No objects detected Detection preview by Segmentation_V11_large_300_train_300 No objects detected Detection preview by Segmentation_v8_large_300_train_300
Original Image: P06797.jpg
GT: pliers, wrench
pliers, wrench Detection preview by Box_v11_medium_train_SIXray_OPIXray No objects detected Detection preview by DN_Medium_300_yolov8m_20t7_new wrench Detection preview by Segmentatation_v8_medium_train_250 wrench Detection preview by Segmentation_V11_large_300_train_300 wrench Detection preview by Segmentation_v8_large_300_train_300
Original Image: P06798.jpg
GT: pliers, wrench
pliers, wrench Detection preview by Box_v11_medium_train_SIXray_OPIXray No objects detected Detection preview by DN_Medium_300_yolov8m_20t7_new wrench Detection preview by Segmentatation_v8_medium_train_250 wrench Detection preview by Segmentation_V11_large_300_train_300 wrench Detection preview by Segmentation_v8_large_300_train_300
Original Image: P06799.jpg
GT: pliers, wrench
pliers, wrench Detection preview by Box_v11_medium_train_SIXray_OPIXray No objects detected Detection preview by DN_Medium_300_yolov8m_20t7_new wrench Detection preview by Segmentatation_v8_medium_train_250 wrench Detection preview by Segmentation_V11_large_300_train_300 wrench Detection preview by Segmentation_v8_large_300_train_300
Original Image: P06800.jpg
GT: pliers
pliers Detection preview by Box_v11_medium_train_SIXray_OPIXray No objects detected Detection preview by DN_Medium_300_yolov8m_20t7_new No objects detected Detection preview by Segmentatation_v8_medium_train_250 No objects detected Detection preview by Segmentation_V11_large_300_train_300 No objects detected Detection preview by Segmentation_v8_large_300_train_300
Original Image: P06801.jpg
GT: pliers
pliers Detection preview by Box_v11_medium_train_SIXray_OPIXray No objects detected Detection preview by DN_Medium_300_yolov8m_20t7_new No objects detected Detection preview by Segmentatation_v8_medium_train_250 No objects detected Detection preview by Segmentation_V11_large_300_train_300 No objects detected Detection preview by Segmentation_v8_large_300_train_300
Original Image: P06802.jpg
GT: pliers
pliers Detection preview by Box_v11_medium_train_SIXray_OPIXray No objects detected Detection preview by DN_Medium_300_yolov8m_20t7_new No objects detected Detection preview by Segmentatation_v8_medium_train_250 No objects detected Detection preview by Segmentation_V11_large_300_train_300 No objects detected Detection preview by Segmentation_v8_large_300_train_300
Original Image: P06803.jpg
GT: pliers
pliers Detection preview by Box_v11_medium_train_SIXray_OPIXray No objects detected Detection preview by DN_Medium_300_yolov8m_20t7_new No objects detected Detection preview by Segmentatation_v8_medium_train_250 No objects detected Detection preview by Segmentation_V11_large_300_train_300 No objects detected Detection preview by Segmentation_v8_large_300_train_300
Original Image: P06804.jpg
GT: pliers, wrench
pliers, wrench Detection preview by Box_v11_medium_train_SIXray_OPIXray No objects detected Detection preview by DN_Medium_300_yolov8m_20t7_new wrench Detection preview by Segmentatation_v8_medium_train_250 wrench Detection preview by Segmentation_V11_large_300_train_300 wrench Detection preview by Segmentation_v8_large_300_train_300
Original Image: P06805.jpg
GT: pliers, wrench
pliers, wrench Detection preview by Box_v11_medium_train_SIXray_OPIXray No objects detected Detection preview by DN_Medium_300_yolov8m_20t7_new wrench Detection preview by Segmentatation_v8_medium_train_250 wrench Detection preview by Segmentation_V11_large_300_train_300 wrench Detection preview by Segmentation_v8_large_300_train_300
Original Image: P06806.jpg
GT: pliers
pliers Detection preview by Box_v11_medium_train_SIXray_OPIXray No objects detected Detection preview by DN_Medium_300_yolov8m_20t7_new No objects detected Detection preview by Segmentatation_v8_medium_train_250 No objects detected Detection preview by Segmentation_V11_large_300_train_300 No objects detected Detection preview by Segmentation_v8_large_300_train_300
Original Image: P06807.jpg
GT: pliers
pliers Detection preview by Box_v11_medium_train_SIXray_OPIXray No objects detected Detection preview by DN_Medium_300_yolov8m_20t7_new No objects detected Detection preview by Segmentatation_v8_medium_train_250 No objects detected Detection preview by Segmentation_V11_large_300_train_300 No objects detected Detection preview by Segmentation_v8_large_300_train_300
Original Image: P06808.jpg
GT: pliers
pliers Detection preview by Box_v11_medium_train_SIXray_OPIXray No objects detected Detection preview by DN_Medium_300_yolov8m_20t7_new No objects detected Detection preview by Segmentatation_v8_medium_train_250 No objects detected Detection preview by Segmentation_V11_large_300_train_300 No objects detected Detection preview by Segmentation_v8_large_300_train_300
Original Image: P06809.jpg
GT: pliers
pliers Detection preview by Box_v11_medium_train_SIXray_OPIXray No objects detected Detection preview by DN_Medium_300_yolov8m_20t7_new No objects detected Detection preview by Segmentatation_v8_medium_train_250 No objects detected Detection preview by Segmentation_V11_large_300_train_300 No objects detected Detection preview by Segmentation_v8_large_300_train_300
Original Image: P06810.jpg
GT: pliers
pliers Detection preview by Box_v11_medium_train_SIXray_OPIXray No objects detected Detection preview by DN_Medium_300_yolov8m_20t7_new No objects detected Detection preview by Segmentatation_v8_medium_train_250 No objects detected Detection preview by Segmentation_V11_large_300_train_300 No objects detected Detection preview by Segmentation_v8_large_300_train_300
Original Image: P06811.jpg
GT: pliers
pliers Detection preview by Box_v11_medium_train_SIXray_OPIXray No objects detected Detection preview by DN_Medium_300_yolov8m_20t7_new No objects detected Detection preview by Segmentatation_v8_medium_train_250 No objects detected Detection preview by Segmentation_V11_large_300_train_300 No objects detected Detection preview by Segmentation_v8_large_300_train_300
Original Image: P06812.jpg
GT: pliers, wrench
pliers, wrench Detection preview by Box_v11_medium_train_SIXray_OPIXray No objects detected Detection preview by DN_Medium_300_yolov8m_20t7_new wrench Detection preview by Segmentatation_v8_medium_train_250 wrench Detection preview by Segmentation_V11_large_300_train_300 wrench Detection preview by Segmentation_v8_large_300_train_300
Original Image: P06813.jpg
GT: pliers, wrench
pliers, wrench Detection preview by Box_v11_medium_train_SIXray_OPIXray No objects detected Detection preview by DN_Medium_300_yolov8m_20t7_new wrench Detection preview by Segmentatation_v8_medium_train_250 wrench Detection preview by Segmentation_V11_large_300_train_300 wrench Detection preview by Segmentation_v8_large_300_train_300
Original Image: P06814.jpg
GT: pliers, wrench
pliers, wrench Detection preview by Box_v11_medium_train_SIXray_OPIXray No objects detected Detection preview by DN_Medium_300_yolov8m_20t7_new wrench Detection preview by Segmentatation_v8_medium_train_250 wrench Detection preview by Segmentation_V11_large_300_train_300 wrench Detection preview by Segmentation_v8_large_300_train_300
Original Image: P06815.jpg
GT: pliers, wrench
pliers, wrench Detection preview by Box_v11_medium_train_SIXray_OPIXray No objects detected Detection preview by DN_Medium_300_yolov8m_20t7_new wrench Detection preview by Segmentatation_v8_medium_train_250 wrench Detection preview by Segmentation_V11_large_300_train_300 wrench Detection preview by Segmentation_v8_large_300_train_300
Original Image: P06816.jpg
GT: pliers
pliers Detection preview by Box_v11_medium_train_SIXray_OPIXray pliers Detection preview by DN_Medium_300_yolov8m_20t7_new No objects detected Detection preview by Segmentatation_v8_medium_train_250 No objects detected Detection preview by Segmentation_V11_large_300_train_300 No objects detected Detection preview by Segmentation_v8_large_300_train_300
Original Image: P06817.jpg
GT: pliers
pliers Detection preview by Box_v11_medium_train_SIXray_OPIXray No objects detected Detection preview by DN_Medium_300_yolov8m_20t7_new wrench Detection preview by Segmentatation_v8_medium_train_250 No objects detected Detection preview by Segmentation_V11_large_300_train_300 No objects detected Detection preview by Segmentation_v8_large_300_train_300
Original Image: P06818.jpg
GT: pliers
pliers Detection preview by Box_v11_medium_train_SIXray_OPIXray No objects detected Detection preview by DN_Medium_300_yolov8m_20t7_new No objects detected Detection preview by Segmentatation_v8_medium_train_250 No objects detected Detection preview by Segmentation_V11_large_300_train_300 No objects detected Detection preview by Segmentation_v8_large_300_train_300
Original Image: P06819.jpg
GT: pliers
pliers Detection preview by Box_v11_medium_train_SIXray_OPIXray No objects detected Detection preview by DN_Medium_300_yolov8m_20t7_new No objects detected Detection preview by Segmentatation_v8_medium_train_250 No objects detected Detection preview by Segmentation_V11_large_300_train_300 No objects detected Detection preview by Segmentation_v8_large_300_train_300
Original Image: P06820.jpg
GT: pliers
pliers Detection preview by Box_v11_medium_train_SIXray_OPIXray No objects detected Detection preview by DN_Medium_300_yolov8m_20t7_new No objects detected Detection preview by Segmentatation_v8_medium_train_250 No objects detected Detection preview by Segmentation_V11_large_300_train_300 No objects detected Detection preview by Segmentation_v8_large_300_train_300
Original Image: P06821.jpg
GT: pliers
pliers Detection preview by Box_v11_medium_train_SIXray_OPIXray No objects detected Detection preview by DN_Medium_300_yolov8m_20t7_new No objects detected Detection preview by Segmentatation_v8_medium_train_250 No objects detected Detection preview by Segmentation_V11_large_300_train_300 No objects detected Detection preview by Segmentation_v8_large_300_train_300
Original Image: P06822.jpg
GT: pliers, wrench
pliers, wrench Detection preview by Box_v11_medium_train_SIXray_OPIXray No objects detected Detection preview by DN_Medium_300_yolov8m_20t7_new wrench Detection preview by Segmentatation_v8_medium_train_250 wrench Detection preview by Segmentation_V11_large_300_train_300 wrench Detection preview by Segmentation_v8_large_300_train_300
Original Image: P06823.jpg
GT: wrench
wrench Detection preview by Box_v11_medium_train_SIXray_OPIXray No objects detected Detection preview by DN_Medium_300_yolov8m_20t7_new wrench Detection preview by Segmentatation_v8_medium_train_250 wrench Detection preview by Segmentation_V11_large_300_train_300 wrench Detection preview by Segmentation_v8_large_300_train_300
Original Image: P06824.jpg
GT: scissors
scissor Detection preview by Box_v11_medium_train_SIXray_OPIXray scissor Detection preview by DN_Medium_300_yolov8m_20t7_new scissor Detection preview by Segmentatation_v8_medium_train_250 scissor Detection preview by Segmentation_V11_large_300_train_300 scissor Detection preview by Segmentation_v8_large_300_train_300
Original Image: P06825.jpg
GT: scissors
scissor Detection preview by Box_v11_medium_train_SIXray_OPIXray No objects detected Detection preview by DN_Medium_300_yolov8m_20t7_new scissor Detection preview by Segmentatation_v8_medium_train_250 scissor Detection preview by Segmentation_V11_large_300_train_300 scissor Detection preview by Segmentation_v8_large_300_train_300
Original Image: P06826.jpg
GT: scissors
scissor Detection preview by Box_v11_medium_train_SIXray_OPIXray No objects detected Detection preview by DN_Medium_300_yolov8m_20t7_new scissor Detection preview by Segmentatation_v8_medium_train_250 scissor Detection preview by Segmentation_V11_large_300_train_300 scissor Detection preview by Segmentation_v8_large_300_train_300
Original Image: P06827.jpg
GT: scissors
scissor Detection preview by Box_v11_medium_train_SIXray_OPIXray No objects detected Detection preview by DN_Medium_300_yolov8m_20t7_new scissor Detection preview by Segmentatation_v8_medium_train_250 scissor Detection preview by Segmentation_V11_large_300_train_300 scissor Detection preview by Segmentation_v8_large_300_train_300
Original Image: P06828.jpg
GT: pliers
pliers Detection preview by Box_v11_medium_train_SIXray_OPIXray No objects detected Detection preview by DN_Medium_300_yolov8m_20t7_new No objects detected Detection preview by Segmentatation_v8_medium_train_250 No objects detected Detection preview by Segmentation_V11_large_300_train_300 No objects detected Detection preview by Segmentation_v8_large_300_train_300
Original Image: P06829.jpg
GT: pliers
pliers Detection preview by Box_v11_medium_train_SIXray_OPIXray No objects detected Detection preview by DN_Medium_300_yolov8m_20t7_new No objects detected Detection preview by Segmentatation_v8_medium_train_250 No objects detected Detection preview by Segmentation_V11_large_300_train_300 No objects detected Detection preview by Segmentation_v8_large_300_train_300
Original Image: P06830.jpg
GT: pliers
pliers Detection preview by Box_v11_medium_train_SIXray_OPIXray No objects detected Detection preview by DN_Medium_300_yolov8m_20t7_new No objects detected Detection preview by Segmentatation_v8_medium_train_250 No objects detected Detection preview by Segmentation_V11_large_300_train_300 No objects detected Detection preview by Segmentation_v8_large_300_train_300
Original Image: P06831.jpg
GT: pliers, wrench
pliers, wrench Detection preview by Box_v11_medium_train_SIXray_OPIXray No objects detected Detection preview by DN_Medium_300_yolov8m_20t7_new wrench Detection preview by Segmentatation_v8_medium_train_250 wrench Detection preview by Segmentation_V11_large_300_train_300 wrench Detection preview by Segmentation_v8_large_300_train_300
Original Image: P06832.jpg
GT: pliers, wrench
pliers, wrench Detection preview by Box_v11_medium_train_SIXray_OPIXray No objects detected Detection preview by DN_Medium_300_yolov8m_20t7_new wrench Detection preview by Segmentatation_v8_medium_train_250 wrench Detection preview by Segmentation_V11_large_300_train_300 wrench Detection preview by Segmentation_v8_large_300_train_300
Original Image: P06833.jpg
GT: pliers, wrench
pliers, wrench Detection preview by Box_v11_medium_train_SIXray_OPIXray No objects detected Detection preview by DN_Medium_300_yolov8m_20t7_new wrench Detection preview by Segmentatation_v8_medium_train_250 wrench Detection preview by Segmentation_V11_large_300_train_300 wrench Detection preview by Segmentation_v8_large_300_train_300
Original Image: P06834.jpg
GT: pliers, wrench
pliers, wrench Detection preview by Box_v11_medium_train_SIXray_OPIXray No objects detected Detection preview by DN_Medium_300_yolov8m_20t7_new wrench Detection preview by Segmentatation_v8_medium_train_250 wrench Detection preview by Segmentation_V11_large_300_train_300 wrench Detection preview by Segmentation_v8_large_300_train_300
Original Image: P06835.jpg
GT: pliers
pliers Detection preview by Box_v11_medium_train_SIXray_OPIXray No objects detected Detection preview by DN_Medium_300_yolov8m_20t7_new No objects detected Detection preview by Segmentatation_v8_medium_train_250 No objects detected Detection preview by Segmentation_V11_large_300_train_300 No objects detected Detection preview by Segmentation_v8_large_300_train_300
Original Image: P06836.jpg
GT: pliers, wrench
pliers, wrench Detection preview by Box_v11_medium_train_SIXray_OPIXray No objects detected Detection preview by DN_Medium_300_yolov8m_20t7_new No objects detected Detection preview by Segmentatation_v8_medium_train_250 wrench Detection preview by Segmentation_V11_large_300_train_300 No objects detected Detection preview by Segmentation_v8_large_300_train_300
Original Image: P06837.jpg
GT: scissors
scissor Detection preview by Box_v11_medium_train_SIXray_OPIXray No objects detected Detection preview by DN_Medium_300_yolov8m_20t7_new scissor Detection preview by Segmentatation_v8_medium_train_250 scissor Detection preview by Segmentation_V11_large_300_train_300 scissor Detection preview by Segmentation_v8_large_300_train_300
Original Image: P06838.jpg
GT: scissors
scissor Detection preview by Box_v11_medium_train_SIXray_OPIXray No objects detected Detection preview by DN_Medium_300_yolov8m_20t7_new scissor Detection preview by Segmentatation_v8_medium_train_250 scissor Detection preview by Segmentation_V11_large_300_train_300 scissor Detection preview by Segmentation_v8_large_300_train_300
Original Image: P06839.jpg
GT: pliers
pliers Detection preview by Box_v11_medium_train_SIXray_OPIXray pliers Detection preview by DN_Medium_300_yolov8m_20t7_new No objects detected Detection preview by Segmentatation_v8_medium_train_250 No objects detected Detection preview by Segmentation_V11_large_300_train_300 No objects detected Detection preview by Segmentation_v8_large_300_train_300
Original Image: P06840.jpg
GT: pliers
pliers Detection preview by Box_v11_medium_train_SIXray_OPIXray pliers Detection preview by DN_Medium_300_yolov8m_20t7_new No objects detected Detection preview by Segmentatation_v8_medium_train_250 No objects detected Detection preview by Segmentation_V11_large_300_train_300 No objects detected Detection preview by Segmentation_v8_large_300_train_300
Original Image: P06841.jpg
GT: pliers
pliers Detection preview by Box_v11_medium_train_SIXray_OPIXray No objects detected Detection preview by DN_Medium_300_yolov8m_20t7_new No objects detected Detection preview by Segmentatation_v8_medium_train_250 No objects detected Detection preview by Segmentation_V11_large_300_train_300 No objects detected Detection preview by Segmentation_v8_large_300_train_300
Original Image: P06842.jpg
GT: pliers
pliers Detection preview by Box_v11_medium_train_SIXray_OPIXray No objects detected Detection preview by DN_Medium_300_yolov8m_20t7_new No objects detected Detection preview by Segmentatation_v8_medium_train_250 No objects detected Detection preview by Segmentation_V11_large_300_train_300 No objects detected Detection preview by Segmentation_v8_large_300_train_300
Original Image: P06843.jpg
GT: pliers
pliers Detection preview by Box_v11_medium_train_SIXray_OPIXray No objects detected Detection preview by DN_Medium_300_yolov8m_20t7_new No objects detected Detection preview by Segmentatation_v8_medium_train_250 No objects detected Detection preview by Segmentation_V11_large_300_train_300 No objects detected Detection preview by Segmentation_v8_large_300_train_300
Original Image: P06844.jpg
GT: pliers, wrench
pliers, wrench Detection preview by Box_v11_medium_train_SIXray_OPIXray No objects detected Detection preview by DN_Medium_300_yolov8m_20t7_new wrench Detection preview by Segmentatation_v8_medium_train_250 wrench Detection preview by Segmentation_V11_large_300_train_300 wrench Detection preview by Segmentation_v8_large_300_train_300
Original Image: P06845.jpg
GT: pliers, wrench
pliers, wrench Detection preview by Box_v11_medium_train_SIXray_OPIXray No objects detected Detection preview by DN_Medium_300_yolov8m_20t7_new wrench Detection preview by Segmentatation_v8_medium_train_250 wrench Detection preview by Segmentation_V11_large_300_train_300 wrench Detection preview by Segmentation_v8_large_300_train_300
Original Image: P06846.jpg
GT: None
No objects detected Detection preview by Box_v11_medium_train_SIXray_OPIXray No objects detected Detection preview by DN_Medium_300_yolov8m_20t7_new No objects detected Detection preview by Segmentatation_v8_medium_train_250 No objects detected Detection preview by Segmentation_V11_large_300_train_300 No objects detected Detection preview by Segmentation_v8_large_300_train_300
Original Image: P06847.jpg
GT: wrench
wrench Detection preview by Box_v11_medium_train_SIXray_OPIXray scissor, wrench Detection preview by DN_Medium_300_yolov8m_20t7_new wrench Detection preview by Segmentatation_v8_medium_train_250 scissor, wrench Detection preview by Segmentation_V11_large_300_train_300 wrench Detection preview by Segmentation_v8_large_300_train_300
Original Image: P06848.jpg
GT: pliers, wrench
pliers, wrench Detection preview by Box_v11_medium_train_SIXray_OPIXray No objects detected Detection preview by DN_Medium_300_yolov8m_20t7_new wrench Detection preview by Segmentatation_v8_medium_train_250 wrench Detection preview by Segmentation_V11_large_300_train_300 wrench Detection preview by Segmentation_v8_large_300_train_300
Original Image: P06849.jpg
GT: pliers, wrench
pliers, wrench Detection preview by Box_v11_medium_train_SIXray_OPIXray No objects detected Detection preview by DN_Medium_300_yolov8m_20t7_new wrench Detection preview by Segmentatation_v8_medium_train_250 wrench Detection preview by Segmentation_V11_large_300_train_300 wrench Detection preview by Segmentation_v8_large_300_train_300
Original Image: P06850.jpg
GT: wrench
wrench Detection preview by Box_v11_medium_train_SIXray_OPIXray No objects detected Detection preview by DN_Medium_300_yolov8m_20t7_new wrench Detection preview by Segmentatation_v8_medium_train_250 wrench Detection preview by Segmentation_V11_large_300_train_300 wrench Detection preview by Segmentation_v8_large_300_train_300
Original Image: P06851.jpg
GT: wrench
wrench Detection preview by Box_v11_medium_train_SIXray_OPIXray No objects detected Detection preview by DN_Medium_300_yolov8m_20t7_new wrench Detection preview by Segmentatation_v8_medium_train_250 wrench Detection preview by Segmentation_V11_large_300_train_300 wrench Detection preview by Segmentation_v8_large_300_train_300
Original Image: P06852.jpg
GT: pliers
pliers Detection preview by Box_v11_medium_train_SIXray_OPIXray No objects detected Detection preview by DN_Medium_300_yolov8m_20t7_new No objects detected Detection preview by Segmentatation_v8_medium_train_250 No objects detected Detection preview by Segmentation_V11_large_300_train_300 No objects detected Detection preview by Segmentation_v8_large_300_train_300
Original Image: P06853.jpg
GT: pliers
pliers Detection preview by Box_v11_medium_train_SIXray_OPIXray No objects detected Detection preview by DN_Medium_300_yolov8m_20t7_new No objects detected Detection preview by Segmentatation_v8_medium_train_250 No objects detected Detection preview by Segmentation_V11_large_300_train_300 No objects detected Detection preview by Segmentation_v8_large_300_train_300
Original Image: P06854.jpg
GT: wrench
wrench Detection preview by Box_v11_medium_train_SIXray_OPIXray scissor Detection preview by DN_Medium_300_yolov8m_20t7_new wrench Detection preview by Segmentatation_v8_medium_train_250 wrench Detection preview by Segmentation_V11_large_300_train_300 wrench Detection preview by Segmentation_v8_large_300_train_300
Original Image: P06855.jpg
GT: wrench
wrench Detection preview by Box_v11_medium_train_SIXray_OPIXray No objects detected Detection preview by DN_Medium_300_yolov8m_20t7_new wrench Detection preview by Segmentatation_v8_medium_train_250 wrench Detection preview by Segmentation_V11_large_300_train_300 wrench Detection preview by Segmentation_v8_large_300_train_300
Original Image: P06856.jpg
GT: pliers
pliers Detection preview by Box_v11_medium_train_SIXray_OPIXray No objects detected Detection preview by DN_Medium_300_yolov8m_20t7_new No objects detected Detection preview by Segmentatation_v8_medium_train_250 No objects detected Detection preview by Segmentation_V11_large_300_train_300 No objects detected Detection preview by Segmentation_v8_large_300_train_300
Original Image: P06857.jpg
GT: pliers
pliers Detection preview by Box_v11_medium_train_SIXray_OPIXray No objects detected Detection preview by DN_Medium_300_yolov8m_20t7_new No objects detected Detection preview by Segmentatation_v8_medium_train_250 No objects detected Detection preview by Segmentation_V11_large_300_train_300 No objects detected Detection preview by Segmentation_v8_large_300_train_300
Original Image: P06858.jpg
GT: pliers
pliers Detection preview by Box_v11_medium_train_SIXray_OPIXray No objects detected Detection preview by DN_Medium_300_yolov8m_20t7_new No objects detected Detection preview by Segmentatation_v8_medium_train_250 No objects detected Detection preview by Segmentation_V11_large_300_train_300 No objects detected Detection preview by Segmentation_v8_large_300_train_300
Original Image: P06859.jpg
GT: pliers
pliers Detection preview by Box_v11_medium_train_SIXray_OPIXray No objects detected Detection preview by DN_Medium_300_yolov8m_20t7_new No objects detected Detection preview by Segmentatation_v8_medium_train_250 No objects detected Detection preview by Segmentation_V11_large_300_train_300 No objects detected Detection preview by Segmentation_v8_large_300_train_300
Original Image: P06860.jpg
GT: pliers
pliers Detection preview by Box_v11_medium_train_SIXray_OPIXray No objects detected Detection preview by DN_Medium_300_yolov8m_20t7_new No objects detected Detection preview by Segmentatation_v8_medium_train_250 No objects detected Detection preview by Segmentation_V11_large_300_train_300 No objects detected Detection preview by Segmentation_v8_large_300_train_300
Original Image: P06861.jpg
GT: scissors
scissor Detection preview by Box_v11_medium_train_SIXray_OPIXray No objects detected Detection preview by DN_Medium_300_yolov8m_20t7_new scissor Detection preview by Segmentatation_v8_medium_train_250 scissor Detection preview by Segmentation_V11_large_300_train_300 scissor Detection preview by Segmentation_v8_large_300_train_300
Original Image: P06862.jpg
GT: scissors
scissor Detection preview by Box_v11_medium_train_SIXray_OPIXray No objects detected Detection preview by DN_Medium_300_yolov8m_20t7_new scissor Detection preview by Segmentatation_v8_medium_train_250 scissor Detection preview by Segmentation_V11_large_300_train_300 scissor Detection preview by Segmentation_v8_large_300_train_300
Original Image: P06863.jpg
GT: pliers
pliers Detection preview by Box_v11_medium_train_SIXray_OPIXray pliers Detection preview by DN_Medium_300_yolov8m_20t7_new No objects detected Detection preview by Segmentatation_v8_medium_train_250 No objects detected Detection preview by Segmentation_V11_large_300_train_300 No objects detected Detection preview by Segmentation_v8_large_300_train_300
Original Image: P06864.jpg
GT: pliers
pliers Detection preview by Box_v11_medium_train_SIXray_OPIXray pliers Detection preview by DN_Medium_300_yolov8m_20t7_new No objects detected Detection preview by Segmentatation_v8_medium_train_250 No objects detected Detection preview by Segmentation_V11_large_300_train_300 No objects detected Detection preview by Segmentation_v8_large_300_train_300
Original Image: P06865.jpg
GT: pliers, wrench
pliers, wrench Detection preview by Box_v11_medium_train_SIXray_OPIXray No objects detected Detection preview by DN_Medium_300_yolov8m_20t7_new wrench Detection preview by Segmentatation_v8_medium_train_250 wrench Detection preview by Segmentation_V11_large_300_train_300 wrench Detection preview by Segmentation_v8_large_300_train_300
Original Image: P06866.jpg
GT: pliers, wrench
pliers, wrench Detection preview by Box_v11_medium_train_SIXray_OPIXray No objects detected Detection preview by DN_Medium_300_yolov8m_20t7_new wrench Detection preview by Segmentatation_v8_medium_train_250 wrench Detection preview by Segmentation_V11_large_300_train_300 wrench Detection preview by Segmentation_v8_large_300_train_300
Original Image: P06867.jpg
GT: pliers, wrench
pliers, wrench Detection preview by Box_v11_medium_train_SIXray_OPIXray No objects detected Detection preview by DN_Medium_300_yolov8m_20t7_new wrench Detection preview by Segmentatation_v8_medium_train_250 wrench Detection preview by Segmentation_V11_large_300_train_300 wrench Detection preview by Segmentation_v8_large_300_train_300
Original Image: P06868.jpg
GT: pliers, wrench
pliers, wrench Detection preview by Box_v11_medium_train_SIXray_OPIXray No objects detected Detection preview by DN_Medium_300_yolov8m_20t7_new wrench Detection preview by Segmentatation_v8_medium_train_250 wrench Detection preview by Segmentation_V11_large_300_train_300 wrench Detection preview by Segmentation_v8_large_300_train_300
Original Image: P06869.jpg
GT: pliers, wrench
pliers, wrench Detection preview by Box_v11_medium_train_SIXray_OPIXray pliers Detection preview by DN_Medium_300_yolov8m_20t7_new wrench Detection preview by Segmentatation_v8_medium_train_250 wrench Detection preview by Segmentation_V11_large_300_train_300 wrench Detection preview by Segmentation_v8_large_300_train_300
Original Image: P06870.jpg
GT: pliers
pliers Detection preview by Box_v11_medium_train_SIXray_OPIXray No objects detected Detection preview by DN_Medium_300_yolov8m_20t7_new No objects detected Detection preview by Segmentatation_v8_medium_train_250 No objects detected Detection preview by Segmentation_V11_large_300_train_300 No objects detected Detection preview by Segmentation_v8_large_300_train_300
Original Image: P06871.jpg
GT: pliers
pliers Detection preview by Box_v11_medium_train_SIXray_OPIXray No objects detected Detection preview by DN_Medium_300_yolov8m_20t7_new No objects detected Detection preview by Segmentatation_v8_medium_train_250 No objects detected Detection preview by Segmentation_V11_large_300_train_300 No objects detected Detection preview by Segmentation_v8_large_300_train_300
Original Image: P06872.jpg
GT: pliers
pliers Detection preview by Box_v11_medium_train_SIXray_OPIXray No objects detected Detection preview by DN_Medium_300_yolov8m_20t7_new No objects detected Detection preview by Segmentatation_v8_medium_train_250 No objects detected Detection preview by Segmentation_V11_large_300_train_300 No objects detected Detection preview by Segmentation_v8_large_300_train_300
Original Image: P06873.jpg
GT: pliers
pliers Detection preview by Box_v11_medium_train_SIXray_OPIXray No objects detected Detection preview by DN_Medium_300_yolov8m_20t7_new No objects detected Detection preview by Segmentatation_v8_medium_train_250 No objects detected Detection preview by Segmentation_V11_large_300_train_300 No objects detected Detection preview by Segmentation_v8_large_300_train_300
Original Image: P06874.jpg
GT: scissors
scissor Detection preview by Box_v11_medium_train_SIXray_OPIXray No objects detected Detection preview by DN_Medium_300_yolov8m_20t7_new scissor Detection preview by Segmentatation_v8_medium_train_250 scissor Detection preview by Segmentation_V11_large_300_train_300 scissor Detection preview by Segmentation_v8_large_300_train_300
Original Image: P06875.jpg
GT: pliers
pliers Detection preview by Box_v11_medium_train_SIXray_OPIXray No objects detected Detection preview by DN_Medium_300_yolov8m_20t7_new No objects detected Detection preview by Segmentatation_v8_medium_train_250 No objects detected Detection preview by Segmentation_V11_large_300_train_300 No objects detected Detection preview by Segmentation_v8_large_300_train_300
Original Image: P06876.jpg
GT: wrench
wrench Detection preview by Box_v11_medium_train_SIXray_OPIXray No objects detected Detection preview by DN_Medium_300_yolov8m_20t7_new wrench Detection preview by Segmentatation_v8_medium_train_250 wrench Detection preview by Segmentation_V11_large_300_train_300 wrench Detection preview by Segmentation_v8_large_300_train_300
Original Image: P06877.jpg
GT: wrench
wrench Detection preview by Box_v11_medium_train_SIXray_OPIXray No objects detected Detection preview by DN_Medium_300_yolov8m_20t7_new wrench Detection preview by Segmentatation_v8_medium_train_250 wrench Detection preview by Segmentation_V11_large_300_train_300 wrench Detection preview by Segmentation_v8_large_300_train_300
Original Image: P06878.jpg
GT: pliers
pliers Detection preview by Box_v11_medium_train_SIXray_OPIXray No objects detected Detection preview by DN_Medium_300_yolov8m_20t7_new No objects detected Detection preview by Segmentatation_v8_medium_train_250 No objects detected Detection preview by Segmentation_V11_large_300_train_300 No objects detected Detection preview by Segmentation_v8_large_300_train_300
Original Image: P06879.jpg
GT: pliers
pliers Detection preview by Box_v11_medium_train_SIXray_OPIXray No objects detected Detection preview by DN_Medium_300_yolov8m_20t7_new No objects detected Detection preview by Segmentatation_v8_medium_train_250 No objects detected Detection preview by Segmentation_V11_large_300_train_300 No objects detected Detection preview by Segmentation_v8_large_300_train_300
Original Image: P06880.jpg
GT: scissors
scissor Detection preview by Box_v11_medium_train_SIXray_OPIXray No objects detected Detection preview by DN_Medium_300_yolov8m_20t7_new scissor Detection preview by Segmentatation_v8_medium_train_250 scissor Detection preview by Segmentation_V11_large_300_train_300 scissor Detection preview by Segmentation_v8_large_300_train_300
Original Image: P06881.jpg
GT: scissors
scissor Detection preview by Box_v11_medium_train_SIXray_OPIXray No objects detected Detection preview by DN_Medium_300_yolov8m_20t7_new scissor Detection preview by Segmentatation_v8_medium_train_250 scissor Detection preview by Segmentation_V11_large_300_train_300 scissor Detection preview by Segmentation_v8_large_300_train_300
Original Image: P06882.jpg
GT: scissors
scissor Detection preview by Box_v11_medium_train_SIXray_OPIXray No objects detected Detection preview by DN_Medium_300_yolov8m_20t7_new scissor Detection preview by Segmentatation_v8_medium_train_250 scissor Detection preview by Segmentation_V11_large_300_train_300 scissor Detection preview by Segmentation_v8_large_300_train_300
Original Image: P06883.jpg
GT: pliers, wrench
pliers, wrench Detection preview by Box_v11_medium_train_SIXray_OPIXray No objects detected Detection preview by DN_Medium_300_yolov8m_20t7_new wrench Detection preview by Segmentatation_v8_medium_train_250 wrench Detection preview by Segmentation_V11_large_300_train_300 wrench Detection preview by Segmentation_v8_large_300_train_300
Original Image: P06884.jpg
GT: pliers
pliers Detection preview by Box_v11_medium_train_SIXray_OPIXray No objects detected Detection preview by DN_Medium_300_yolov8m_20t7_new No objects detected Detection preview by Segmentatation_v8_medium_train_250 No objects detected Detection preview by Segmentation_V11_large_300_train_300 No objects detected Detection preview by Segmentation_v8_large_300_train_300
Original Image: P06885.jpg
GT: pliers
pliers Detection preview by Box_v11_medium_train_SIXray_OPIXray No objects detected Detection preview by DN_Medium_300_yolov8m_20t7_new No objects detected Detection preview by Segmentatation_v8_medium_train_250 No objects detected Detection preview by Segmentation_V11_large_300_train_300 No objects detected Detection preview by Segmentation_v8_large_300_train_300
Original Image: P06886.jpg
GT: wrench
wrench Detection preview by Box_v11_medium_train_SIXray_OPIXray No objects detected Detection preview by DN_Medium_300_yolov8m_20t7_new wrench Detection preview by Segmentatation_v8_medium_train_250 wrench Detection preview by Segmentation_V11_large_300_train_300 wrench Detection preview by Segmentation_v8_large_300_train_300
Original Image: P06887.jpg
GT: wrench
wrench Detection preview by Box_v11_medium_train_SIXray_OPIXray No objects detected Detection preview by DN_Medium_300_yolov8m_20t7_new wrench Detection preview by Segmentatation_v8_medium_train_250 wrench Detection preview by Segmentation_V11_large_300_train_300 wrench Detection preview by Segmentation_v8_large_300_train_300
Original Image: P06888.jpg
GT: wrench
wrench Detection preview by Box_v11_medium_train_SIXray_OPIXray No objects detected Detection preview by DN_Medium_300_yolov8m_20t7_new wrench Detection preview by Segmentatation_v8_medium_train_250 wrench Detection preview by Segmentation_V11_large_300_train_300 wrench Detection preview by Segmentation_v8_large_300_train_300
Original Image: P06889.jpg
GT: pliers, wrench
pliers, wrench Detection preview by Box_v11_medium_train_SIXray_OPIXray No objects detected Detection preview by DN_Medium_300_yolov8m_20t7_new No objects detected Detection preview by Segmentatation_v8_medium_train_250 No objects detected Detection preview by Segmentation_V11_large_300_train_300 No objects detected Detection preview by Segmentation_v8_large_300_train_300
Original Image: P06890.jpg
GT: pliers
pliers Detection preview by Box_v11_medium_train_SIXray_OPIXray No objects detected Detection preview by DN_Medium_300_yolov8m_20t7_new No objects detected Detection preview by Segmentatation_v8_medium_train_250 No objects detected Detection preview by Segmentation_V11_large_300_train_300 No objects detected Detection preview by Segmentation_v8_large_300_train_300
Original Image: P06891.jpg
GT: pliers
pliers Detection preview by Box_v11_medium_train_SIXray_OPIXray No objects detected Detection preview by DN_Medium_300_yolov8m_20t7_new No objects detected Detection preview by Segmentatation_v8_medium_train_250 No objects detected Detection preview by Segmentation_V11_large_300_train_300 No objects detected Detection preview by Segmentation_v8_large_300_train_300
Original Image: P06892.jpg
GT: wrench
wrench Detection preview by Box_v11_medium_train_SIXray_OPIXray No objects detected Detection preview by DN_Medium_300_yolov8m_20t7_new wrench Detection preview by Segmentatation_v8_medium_train_250 wrench Detection preview by Segmentation_V11_large_300_train_300 wrench Detection preview by Segmentation_v8_large_300_train_300
Original Image: P06893.jpg
GT: pliers
pliers Detection preview by Box_v11_medium_train_SIXray_OPIXray No objects detected Detection preview by DN_Medium_300_yolov8m_20t7_new No objects detected Detection preview by Segmentatation_v8_medium_train_250 No objects detected Detection preview by Segmentation_V11_large_300_train_300 No objects detected Detection preview by Segmentation_v8_large_300_train_300
Original Image: P06894.jpg
GT: pliers
pliers Detection preview by Box_v11_medium_train_SIXray_OPIXray No objects detected Detection preview by DN_Medium_300_yolov8m_20t7_new No objects detected Detection preview by Segmentatation_v8_medium_train_250 No objects detected Detection preview by Segmentation_V11_large_300_train_300 No objects detected Detection preview by Segmentation_v8_large_300_train_300
Original Image: P06895.jpg
GT: pliers
pliers Detection preview by Box_v11_medium_train_SIXray_OPIXray No objects detected Detection preview by DN_Medium_300_yolov8m_20t7_new No objects detected Detection preview by Segmentatation_v8_medium_train_250 No objects detected Detection preview by Segmentation_V11_large_300_train_300 No objects detected Detection preview by Segmentation_v8_large_300_train_300
Original Image: P06896.jpg
GT: pliers
pliers Detection preview by Box_v11_medium_train_SIXray_OPIXray No objects detected Detection preview by DN_Medium_300_yolov8m_20t7_new No objects detected Detection preview by Segmentatation_v8_medium_train_250 No objects detected Detection preview by Segmentation_V11_large_300_train_300 No objects detected Detection preview by Segmentation_v8_large_300_train_300
Original Image: P06897.jpg
GT: pliers
pliers Detection preview by Box_v11_medium_train_SIXray_OPIXray No objects detected Detection preview by DN_Medium_300_yolov8m_20t7_new No objects detected Detection preview by Segmentatation_v8_medium_train_250 No objects detected Detection preview by Segmentation_V11_large_300_train_300 No objects detected Detection preview by Segmentation_v8_large_300_train_300
Original Image: P06898.jpg
GT: wrench
wrench Detection preview by Box_v11_medium_train_SIXray_OPIXray No objects detected Detection preview by DN_Medium_300_yolov8m_20t7_new wrench Detection preview by Segmentatation_v8_medium_train_250 wrench Detection preview by Segmentation_V11_large_300_train_300 wrench Detection preview by Segmentation_v8_large_300_train_300
Original Image: P06899.jpg
GT: pliers
pliers, wrench Detection preview by Box_v11_medium_train_SIXray_OPIXray No objects detected Detection preview by DN_Medium_300_yolov8m_20t7_new wrench Detection preview by Segmentatation_v8_medium_train_250 wrench Detection preview by Segmentation_V11_large_300_train_300 wrench Detection preview by Segmentation_v8_large_300_train_300
Original Image: P06900.jpg
GT: pliers
pliers Detection preview by Box_v11_medium_train_SIXray_OPIXray No objects detected Detection preview by DN_Medium_300_yolov8m_20t7_new scissor Detection preview by Segmentatation_v8_medium_train_250 No objects detected Detection preview by Segmentation_V11_large_300_train_300 No objects detected Detection preview by Segmentation_v8_large_300_train_300
Original Image: P06901.jpg
GT: pliers
pliers Detection preview by Box_v11_medium_train_SIXray_OPIXray No objects detected Detection preview by DN_Medium_300_yolov8m_20t7_new No objects detected Detection preview by Segmentatation_v8_medium_train_250 No objects detected Detection preview by Segmentation_V11_large_300_train_300 No objects detected Detection preview by Segmentation_v8_large_300_train_300
Original Image: P06902.jpg
GT: pliers
pliers Detection preview by Box_v11_medium_train_SIXray_OPIXray No objects detected Detection preview by DN_Medium_300_yolov8m_20t7_new No objects detected Detection preview by Segmentatation_v8_medium_train_250 No objects detected Detection preview by Segmentation_V11_large_300_train_300 No objects detected Detection preview by Segmentation_v8_large_300_train_300
Original Image: P06903.jpg
GT: pliers
pliers Detection preview by Box_v11_medium_train_SIXray_OPIXray No objects detected Detection preview by DN_Medium_300_yolov8m_20t7_new No objects detected Detection preview by Segmentatation_v8_medium_train_250 No objects detected Detection preview by Segmentation_V11_large_300_train_300 No objects detected Detection preview by Segmentation_v8_large_300_train_300
Original Image: P06904.jpg
GT: pliers
pliers Detection preview by Box_v11_medium_train_SIXray_OPIXray No objects detected Detection preview by DN_Medium_300_yolov8m_20t7_new wrench Detection preview by Segmentatation_v8_medium_train_250 No objects detected Detection preview by Segmentation_V11_large_300_train_300 wrench Detection preview by Segmentation_v8_large_300_train_300
Original Image: P06905.jpg
GT: pliers
pliers Detection preview by Box_v11_medium_train_SIXray_OPIXray No objects detected Detection preview by DN_Medium_300_yolov8m_20t7_new No objects detected Detection preview by Segmentatation_v8_medium_train_250 No objects detected Detection preview by Segmentation_V11_large_300_train_300 No objects detected Detection preview by Segmentation_v8_large_300_train_300
Original Image: P06906.jpg
GT: scissors
scissor Detection preview by Box_v11_medium_train_SIXray_OPIXray No objects detected Detection preview by DN_Medium_300_yolov8m_20t7_new scissor Detection preview by Segmentatation_v8_medium_train_250 scissor Detection preview by Segmentation_V11_large_300_train_300 scissor Detection preview by Segmentation_v8_large_300_train_300
Original Image: P06907.jpg
GT: scissors
scissor Detection preview by Box_v11_medium_train_SIXray_OPIXray No objects detected Detection preview by DN_Medium_300_yolov8m_20t7_new scissor Detection preview by Segmentatation_v8_medium_train_250 scissor Detection preview by Segmentation_V11_large_300_train_300 scissor Detection preview by Segmentation_v8_large_300_train_300
Original Image: P06908.jpg
GT: scissors
scissor Detection preview by Box_v11_medium_train_SIXray_OPIXray No objects detected Detection preview by DN_Medium_300_yolov8m_20t7_new scissor Detection preview by Segmentatation_v8_medium_train_250 scissor Detection preview by Segmentation_V11_large_300_train_300 scissor Detection preview by Segmentation_v8_large_300_train_300
Original Image: P06909.jpg
GT: scissors
scissor Detection preview by Box_v11_medium_train_SIXray_OPIXray No objects detected Detection preview by DN_Medium_300_yolov8m_20t7_new scissor Detection preview by Segmentatation_v8_medium_train_250 scissor Detection preview by Segmentation_V11_large_300_train_300 scissor Detection preview by Segmentation_v8_large_300_train_300
Original Image: P06910.jpg
GT: scissors
scissor Detection preview by Box_v11_medium_train_SIXray_OPIXray No objects detected Detection preview by DN_Medium_300_yolov8m_20t7_new scissor Detection preview by Segmentatation_v8_medium_train_250 scissor Detection preview by Segmentation_V11_large_300_train_300 scissor Detection preview by Segmentation_v8_large_300_train_300
Original Image: P06911.jpg
GT: scissors
scissor Detection preview by Box_v11_medium_train_SIXray_OPIXray No objects detected Detection preview by DN_Medium_300_yolov8m_20t7_new scissor Detection preview by Segmentatation_v8_medium_train_250 scissor Detection preview by Segmentation_V11_large_300_train_300 scissor Detection preview by Segmentation_v8_large_300_train_300
Original Image: P06912.jpg
GT: scissors
scissor Detection preview by Box_v11_medium_train_SIXray_OPIXray No objects detected Detection preview by DN_Medium_300_yolov8m_20t7_new scissor Detection preview by Segmentatation_v8_medium_train_250 scissor Detection preview by Segmentation_V11_large_300_train_300 scissor Detection preview by Segmentation_v8_large_300_train_300
Original Image: P06913.jpg
GT: scissors
scissor Detection preview by Box_v11_medium_train_SIXray_OPIXray No objects detected Detection preview by DN_Medium_300_yolov8m_20t7_new scissor Detection preview by Segmentatation_v8_medium_train_250 scissor Detection preview by Segmentation_V11_large_300_train_300 scissor Detection preview by Segmentation_v8_large_300_train_300
Original Image: P06914.jpg
GT: scissors
scissor Detection preview by Box_v11_medium_train_SIXray_OPIXray No objects detected Detection preview by DN_Medium_300_yolov8m_20t7_new scissor Detection preview by Segmentatation_v8_medium_train_250 scissor Detection preview by Segmentation_V11_large_300_train_300 scissor Detection preview by Segmentation_v8_large_300_train_300
Original Image: P06915.jpg
GT: scissors
scissor Detection preview by Box_v11_medium_train_SIXray_OPIXray No objects detected Detection preview by DN_Medium_300_yolov8m_20t7_new scissor Detection preview by Segmentatation_v8_medium_train_250 scissor Detection preview by Segmentation_V11_large_300_train_300 scissor Detection preview by Segmentation_v8_large_300_train_300
Original Image: P06916.jpg
GT: scissors
scissor Detection preview by Box_v11_medium_train_SIXray_OPIXray No objects detected Detection preview by DN_Medium_300_yolov8m_20t7_new scissor Detection preview by Segmentatation_v8_medium_train_250 scissor Detection preview by Segmentation_V11_large_300_train_300 scissor Detection preview by Segmentation_v8_large_300_train_300
Original Image: P06917.jpg
GT: scissors
scissor Detection preview by Box_v11_medium_train_SIXray_OPIXray No objects detected Detection preview by DN_Medium_300_yolov8m_20t7_new scissor Detection preview by Segmentatation_v8_medium_train_250 scissor Detection preview by Segmentation_V11_large_300_train_300 scissor Detection preview by Segmentation_v8_large_300_train_300
Original Image: P06918.jpg
GT: scissors
scissor Detection preview by Box_v11_medium_train_SIXray_OPIXray No objects detected Detection preview by DN_Medium_300_yolov8m_20t7_new scissor Detection preview by Segmentatation_v8_medium_train_250 scissor Detection preview by Segmentation_V11_large_300_train_300 scissor Detection preview by Segmentation_v8_large_300_train_300
Original Image: P06919.jpg
GT: scissors
scissor Detection preview by Box_v11_medium_train_SIXray_OPIXray No objects detected Detection preview by DN_Medium_300_yolov8m_20t7_new scissor Detection preview by Segmentatation_v8_medium_train_250 scissor Detection preview by Segmentation_V11_large_300_train_300 scissor Detection preview by Segmentation_v8_large_300_train_300
Original Image: P06920.jpg
GT: scissors
scissor Detection preview by Box_v11_medium_train_SIXray_OPIXray No objects detected Detection preview by DN_Medium_300_yolov8m_20t7_new scissor Detection preview by Segmentatation_v8_medium_train_250 scissor Detection preview by Segmentation_V11_large_300_train_300 scissor Detection preview by Segmentation_v8_large_300_train_300
Original Image: P06921.jpg
GT: scissors
scissor Detection preview by Box_v11_medium_train_SIXray_OPIXray No objects detected Detection preview by DN_Medium_300_yolov8m_20t7_new scissor Detection preview by Segmentatation_v8_medium_train_250 scissor Detection preview by Segmentation_V11_large_300_train_300 scissor Detection preview by Segmentation_v8_large_300_train_300
Original Image: P06922.jpg
GT: scissors
scissor Detection preview by Box_v11_medium_train_SIXray_OPIXray No objects detected Detection preview by DN_Medium_300_yolov8m_20t7_new scissor Detection preview by Segmentatation_v8_medium_train_250 scissor Detection preview by Segmentation_V11_large_300_train_300 scissor Detection preview by Segmentation_v8_large_300_train_300
Original Image: P06923.jpg
GT: scissors
scissor Detection preview by Box_v11_medium_train_SIXray_OPIXray No objects detected Detection preview by DN_Medium_300_yolov8m_20t7_new scissor Detection preview by Segmentatation_v8_medium_train_250 scissor Detection preview by Segmentation_V11_large_300_train_300 scissor Detection preview by Segmentation_v8_large_300_train_300
Original Image: P06924.jpg
GT: scissors
scissor Detection preview by Box_v11_medium_train_SIXray_OPIXray No objects detected Detection preview by DN_Medium_300_yolov8m_20t7_new scissor Detection preview by Segmentatation_v8_medium_train_250 scissor Detection preview by Segmentation_V11_large_300_train_300 scissor Detection preview by Segmentation_v8_large_300_train_300
Original Image: P06925.jpg
GT: scissors
scissor Detection preview by Box_v11_medium_train_SIXray_OPIXray No objects detected Detection preview by DN_Medium_300_yolov8m_20t7_new scissor Detection preview by Segmentatation_v8_medium_train_250 scissor Detection preview by Segmentation_V11_large_300_train_300 scissor Detection preview by Segmentation_v8_large_300_train_300
Original Image: P06926.jpg
GT: pliers
pliers Detection preview by Box_v11_medium_train_SIXray_OPIXray No objects detected Detection preview by DN_Medium_300_yolov8m_20t7_new No objects detected Detection preview by Segmentatation_v8_medium_train_250 No objects detected Detection preview by Segmentation_V11_large_300_train_300 No objects detected Detection preview by Segmentation_v8_large_300_train_300
Original Image: P06927.jpg
GT: pliers, wrench
pliers, wrench Detection preview by Box_v11_medium_train_SIXray_OPIXray No objects detected Detection preview by DN_Medium_300_yolov8m_20t7_new wrench Detection preview by Segmentatation_v8_medium_train_250 wrench Detection preview by Segmentation_V11_large_300_train_300 wrench Detection preview by Segmentation_v8_large_300_train_300
Original Image: P06928.jpg
GT: wrench
wrench Detection preview by Box_v11_medium_train_SIXray_OPIXray scissor Detection preview by DN_Medium_300_yolov8m_20t7_new wrench Detection preview by Segmentatation_v8_medium_train_250 wrench Detection preview by Segmentation_V11_large_300_train_300 No objects detected Detection preview by Segmentation_v8_large_300_train_300
Original Image: P06929.jpg
GT: wrench
wrench Detection preview by Box_v11_medium_train_SIXray_OPIXray scissor Detection preview by DN_Medium_300_yolov8m_20t7_new wrench Detection preview by Segmentatation_v8_medium_train_250 wrench Detection preview by Segmentation_V11_large_300_train_300 No objects detected Detection preview by Segmentation_v8_large_300_train_300
Original Image: P06930.jpg
GT: pliers
pliers Detection preview by Box_v11_medium_train_SIXray_OPIXray No objects detected Detection preview by DN_Medium_300_yolov8m_20t7_new No objects detected Detection preview by Segmentatation_v8_medium_train_250 No objects detected Detection preview by Segmentation_V11_large_300_train_300 No objects detected Detection preview by Segmentation_v8_large_300_train_300
Original Image: P06931.jpg
GT: pliers
pliers Detection preview by Box_v11_medium_train_SIXray_OPIXray No objects detected Detection preview by DN_Medium_300_yolov8m_20t7_new No objects detected Detection preview by Segmentatation_v8_medium_train_250 No objects detected Detection preview by Segmentation_V11_large_300_train_300 No objects detected Detection preview by Segmentation_v8_large_300_train_300
Original Image: P06932.jpg
GT: pliers
pliers Detection preview by Box_v11_medium_train_SIXray_OPIXray No objects detected Detection preview by DN_Medium_300_yolov8m_20t7_new No objects detected Detection preview by Segmentatation_v8_medium_train_250 No objects detected Detection preview by Segmentation_V11_large_300_train_300 No objects detected Detection preview by Segmentation_v8_large_300_train_300
Original Image: P06933.jpg
GT: pliers
pliers Detection preview by Box_v11_medium_train_SIXray_OPIXray No objects detected Detection preview by DN_Medium_300_yolov8m_20t7_new No objects detected Detection preview by Segmentatation_v8_medium_train_250 No objects detected Detection preview by Segmentation_V11_large_300_train_300 No objects detected Detection preview by Segmentation_v8_large_300_train_300
Original Image: P06934.jpg
GT: pliers
pliers Detection preview by Box_v11_medium_train_SIXray_OPIXray No objects detected Detection preview by DN_Medium_300_yolov8m_20t7_new No objects detected Detection preview by Segmentatation_v8_medium_train_250 No objects detected Detection preview by Segmentation_V11_large_300_train_300 No objects detected Detection preview by Segmentation_v8_large_300_train_300
Original Image: P06935.jpg
GT: pliers
pliers Detection preview by Box_v11_medium_train_SIXray_OPIXray No objects detected Detection preview by DN_Medium_300_yolov8m_20t7_new No objects detected Detection preview by Segmentatation_v8_medium_train_250 No objects detected Detection preview by Segmentation_V11_large_300_train_300 No objects detected Detection preview by Segmentation_v8_large_300_train_300
Original Image: P06936.jpg
GT: scissors
scissor Detection preview by Box_v11_medium_train_SIXray_OPIXray No objects detected Detection preview by DN_Medium_300_yolov8m_20t7_new scissor Detection preview by Segmentatation_v8_medium_train_250 scissor Detection preview by Segmentation_V11_large_300_train_300 scissor Detection preview by Segmentation_v8_large_300_train_300
Original Image: P06937.jpg
GT: wrench
wrench Detection preview by Box_v11_medium_train_SIXray_OPIXray No objects detected Detection preview by DN_Medium_300_yolov8m_20t7_new wrench Detection preview by Segmentatation_v8_medium_train_250 wrench Detection preview by Segmentation_V11_large_300_train_300 wrench Detection preview by Segmentation_v8_large_300_train_300
Original Image: P06938.jpg
GT: wrench
wrench Detection preview by Box_v11_medium_train_SIXray_OPIXray No objects detected Detection preview by DN_Medium_300_yolov8m_20t7_new wrench Detection preview by Segmentatation_v8_medium_train_250 wrench Detection preview by Segmentation_V11_large_300_train_300 wrench Detection preview by Segmentation_v8_large_300_train_300
Original Image: P06939.jpg
GT: pliers, wrench
pliers, wrench Detection preview by Box_v11_medium_train_SIXray_OPIXray No objects detected Detection preview by DN_Medium_300_yolov8m_20t7_new scissor, wrench Detection preview by Segmentatation_v8_medium_train_250 scissor Detection preview by Segmentation_V11_large_300_train_300 scissor Detection preview by Segmentation_v8_large_300_train_300
Original Image: P06940.jpg
GT: pliers, wrench
pliers, wrench Detection preview by Box_v11_medium_train_SIXray_OPIXray No objects detected Detection preview by DN_Medium_300_yolov8m_20t7_new scissor, wrench Detection preview by Segmentatation_v8_medium_train_250 scissor Detection preview by Segmentation_V11_large_300_train_300 scissor Detection preview by Segmentation_v8_large_300_train_300
Original Image: P06941.jpg
GT: scissors
scissor Detection preview by Box_v11_medium_train_SIXray_OPIXray No objects detected Detection preview by DN_Medium_300_yolov8m_20t7_new scissor Detection preview by Segmentatation_v8_medium_train_250 scissor Detection preview by Segmentation_V11_large_300_train_300 scissor Detection preview by Segmentation_v8_large_300_train_300
Original Image: P06942.jpg
GT: scissors
scissor Detection preview by Box_v11_medium_train_SIXray_OPIXray No objects detected Detection preview by DN_Medium_300_yolov8m_20t7_new scissor Detection preview by Segmentatation_v8_medium_train_250 scissor Detection preview by Segmentation_V11_large_300_train_300 scissor Detection preview by Segmentation_v8_large_300_train_300
Original Image: P06943.jpg
GT: wrench
wrench Detection preview by Box_v11_medium_train_SIXray_OPIXray No objects detected Detection preview by DN_Medium_300_yolov8m_20t7_new wrench Detection preview by Segmentatation_v8_medium_train_250 wrench Detection preview by Segmentation_V11_large_300_train_300 wrench Detection preview by Segmentation_v8_large_300_train_300
Original Image: P06944.jpg
GT: wrench
wrench Detection preview by Box_v11_medium_train_SIXray_OPIXray No objects detected Detection preview by DN_Medium_300_yolov8m_20t7_new wrench Detection preview by Segmentatation_v8_medium_train_250 wrench Detection preview by Segmentation_V11_large_300_train_300 wrench Detection preview by Segmentation_v8_large_300_train_300
Original Image: P06945.jpg
GT: wrench
wrench Detection preview by Box_v11_medium_train_SIXray_OPIXray No objects detected Detection preview by DN_Medium_300_yolov8m_20t7_new wrench Detection preview by Segmentatation_v8_medium_train_250 wrench Detection preview by Segmentation_V11_large_300_train_300 wrench Detection preview by Segmentation_v8_large_300_train_300
Original Image: P06946.jpg
GT: wrench
wrench Detection preview by Box_v11_medium_train_SIXray_OPIXray No objects detected Detection preview by DN_Medium_300_yolov8m_20t7_new wrench Detection preview by Segmentatation_v8_medium_train_250 wrench Detection preview by Segmentation_V11_large_300_train_300 wrench Detection preview by Segmentation_v8_large_300_train_300
Original Image: P06947.jpg
GT: wrench
wrench Detection preview by Box_v11_medium_train_SIXray_OPIXray No objects detected Detection preview by DN_Medium_300_yolov8m_20t7_new wrench Detection preview by Segmentatation_v8_medium_train_250 wrench Detection preview by Segmentation_V11_large_300_train_300 wrench Detection preview by Segmentation_v8_large_300_train_300
Original Image: P06948.jpg
GT: wrench
wrench Detection preview by Box_v11_medium_train_SIXray_OPIXray No objects detected Detection preview by DN_Medium_300_yolov8m_20t7_new wrench Detection preview by Segmentatation_v8_medium_train_250 wrench Detection preview by Segmentation_V11_large_300_train_300 wrench Detection preview by Segmentation_v8_large_300_train_300
Original Image: P06949.jpg
GT: scissors
scissor Detection preview by Box_v11_medium_train_SIXray_OPIXray No objects detected Detection preview by DN_Medium_300_yolov8m_20t7_new No objects detected Detection preview by Segmentatation_v8_medium_train_250 No objects detected Detection preview by Segmentation_V11_large_300_train_300 No objects detected Detection preview by Segmentation_v8_large_300_train_300
Original Image: P06950.jpg
GT: pliers
pliers Detection preview by Box_v11_medium_train_SIXray_OPIXray No objects detected Detection preview by DN_Medium_300_yolov8m_20t7_new No objects detected Detection preview by Segmentatation_v8_medium_train_250 No objects detected Detection preview by Segmentation_V11_large_300_train_300 No objects detected Detection preview by Segmentation_v8_large_300_train_300
Original Image: P06951.jpg
GT: pliers
pliers Detection preview by Box_v11_medium_train_SIXray_OPIXray No objects detected Detection preview by DN_Medium_300_yolov8m_20t7_new No objects detected Detection preview by Segmentatation_v8_medium_train_250 No objects detected Detection preview by Segmentation_V11_large_300_train_300 No objects detected Detection preview by Segmentation_v8_large_300_train_300
Original Image: P06952.jpg
GT: pliers
pliers Detection preview by Box_v11_medium_train_SIXray_OPIXray No objects detected Detection preview by DN_Medium_300_yolov8m_20t7_new No objects detected Detection preview by Segmentatation_v8_medium_train_250 No objects detected Detection preview by Segmentation_V11_large_300_train_300 No objects detected Detection preview by Segmentation_v8_large_300_train_300
Original Image: P06953.jpg
GT: wrench
wrench Detection preview by Box_v11_medium_train_SIXray_OPIXray No objects detected Detection preview by DN_Medium_300_yolov8m_20t7_new wrench Detection preview by Segmentatation_v8_medium_train_250 wrench Detection preview by Segmentation_V11_large_300_train_300 wrench Detection preview by Segmentation_v8_large_300_train_300
Original Image: P06954.jpg
GT: wrench
wrench Detection preview by Box_v11_medium_train_SIXray_OPIXray No objects detected Detection preview by DN_Medium_300_yolov8m_20t7_new wrench Detection preview by Segmentatation_v8_medium_train_250 wrench Detection preview by Segmentation_V11_large_300_train_300 wrench Detection preview by Segmentation_v8_large_300_train_300
Original Image: P06955.jpg
GT: pliers
pliers Detection preview by Box_v11_medium_train_SIXray_OPIXray No objects detected Detection preview by DN_Medium_300_yolov8m_20t7_new No objects detected Detection preview by Segmentatation_v8_medium_train_250 No objects detected Detection preview by Segmentation_V11_large_300_train_300 No objects detected Detection preview by Segmentation_v8_large_300_train_300
Original Image: P06956.jpg
GT: pliers
pliers Detection preview by Box_v11_medium_train_SIXray_OPIXray No objects detected Detection preview by DN_Medium_300_yolov8m_20t7_new No objects detected Detection preview by Segmentatation_v8_medium_train_250 No objects detected Detection preview by Segmentation_V11_large_300_train_300 No objects detected Detection preview by Segmentation_v8_large_300_train_300
Original Image: P06957.jpg
GT: pliers
pliers Detection preview by Box_v11_medium_train_SIXray_OPIXray pliers Detection preview by DN_Medium_300_yolov8m_20t7_new No objects detected Detection preview by Segmentatation_v8_medium_train_250 No objects detected Detection preview by Segmentation_V11_large_300_train_300 No objects detected Detection preview by Segmentation_v8_large_300_train_300
Original Image: P06958.jpg
GT: pliers
pliers Detection preview by Box_v11_medium_train_SIXray_OPIXray No objects detected Detection preview by DN_Medium_300_yolov8m_20t7_new No objects detected Detection preview by Segmentatation_v8_medium_train_250 No objects detected Detection preview by Segmentation_V11_large_300_train_300 No objects detected Detection preview by Segmentation_v8_large_300_train_300
Original Image: P06959.jpg
GT: pliers, wrench
pliers, wrench Detection preview by Box_v11_medium_train_SIXray_OPIXray No objects detected Detection preview by DN_Medium_300_yolov8m_20t7_new wrench Detection preview by Segmentatation_v8_medium_train_250 wrench Detection preview by Segmentation_V11_large_300_train_300 wrench Detection preview by Segmentation_v8_large_300_train_300
Original Image: P06960.jpg
GT: pliers
pliers Detection preview by Box_v11_medium_train_SIXray_OPIXray No objects detected Detection preview by DN_Medium_300_yolov8m_20t7_new No objects detected Detection preview by Segmentatation_v8_medium_train_250 No objects detected Detection preview by Segmentation_V11_large_300_train_300 No objects detected Detection preview by Segmentation_v8_large_300_train_300
Original Image: P06961.jpg
GT: pliers
pliers Detection preview by Box_v11_medium_train_SIXray_OPIXray No objects detected Detection preview by DN_Medium_300_yolov8m_20t7_new No objects detected Detection preview by Segmentatation_v8_medium_train_250 No objects detected Detection preview by Segmentation_V11_large_300_train_300 No objects detected Detection preview by Segmentation_v8_large_300_train_300
Original Image: P06962.jpg
GT: wrench
wrench Detection preview by Box_v11_medium_train_SIXray_OPIXray No objects detected Detection preview by DN_Medium_300_yolov8m_20t7_new wrench Detection preview by Segmentatation_v8_medium_train_250 wrench Detection preview by Segmentation_V11_large_300_train_300 wrench Detection preview by Segmentation_v8_large_300_train_300
Original Image: P06963.jpg
GT: pliers, wrench
pliers, wrench Detection preview by Box_v11_medium_train_SIXray_OPIXray No objects detected Detection preview by DN_Medium_300_yolov8m_20t7_new wrench Detection preview by Segmentatation_v8_medium_train_250 wrench Detection preview by Segmentation_V11_large_300_train_300 wrench Detection preview by Segmentation_v8_large_300_train_300
Original Image: P06964.jpg
GT: pliers
pliers Detection preview by Box_v11_medium_train_SIXray_OPIXray No objects detected Detection preview by DN_Medium_300_yolov8m_20t7_new No objects detected Detection preview by Segmentatation_v8_medium_train_250 No objects detected Detection preview by Segmentation_V11_large_300_train_300 No objects detected Detection preview by Segmentation_v8_large_300_train_300
Original Image: P06965.jpg
GT: pliers
pliers Detection preview by Box_v11_medium_train_SIXray_OPIXray No objects detected Detection preview by DN_Medium_300_yolov8m_20t7_new No objects detected Detection preview by Segmentatation_v8_medium_train_250 No objects detected Detection preview by Segmentation_V11_large_300_train_300 No objects detected Detection preview by Segmentation_v8_large_300_train_300
Original Image: P06966.jpg
GT: pliers
pliers Detection preview by Box_v11_medium_train_SIXray_OPIXray No objects detected Detection preview by DN_Medium_300_yolov8m_20t7_new No objects detected Detection preview by Segmentatation_v8_medium_train_250 No objects detected Detection preview by Segmentation_V11_large_300_train_300 No objects detected Detection preview by Segmentation_v8_large_300_train_300
Original Image: P06967.jpg
GT: wrench
wrench Detection preview by Box_v11_medium_train_SIXray_OPIXray No objects detected Detection preview by DN_Medium_300_yolov8m_20t7_new wrench Detection preview by Segmentatation_v8_medium_train_250 wrench Detection preview by Segmentation_V11_large_300_train_300 wrench Detection preview by Segmentation_v8_large_300_train_300
Original Image: P06968.jpg
GT: wrench
wrench Detection preview by Box_v11_medium_train_SIXray_OPIXray No objects detected Detection preview by DN_Medium_300_yolov8m_20t7_new wrench Detection preview by Segmentatation_v8_medium_train_250 wrench Detection preview by Segmentation_V11_large_300_train_300 wrench Detection preview by Segmentation_v8_large_300_train_300
Original Image: P06969.jpg
GT: pliers
pliers Detection preview by Box_v11_medium_train_SIXray_OPIXray No objects detected Detection preview by DN_Medium_300_yolov8m_20t7_new No objects detected Detection preview by Segmentatation_v8_medium_train_250 No objects detected Detection preview by Segmentation_V11_large_300_train_300 No objects detected Detection preview by Segmentation_v8_large_300_train_300
Original Image: P06970.jpg
GT: pliers
pliers Detection preview by Box_v11_medium_train_SIXray_OPIXray No objects detected Detection preview by DN_Medium_300_yolov8m_20t7_new No objects detected Detection preview by Segmentatation_v8_medium_train_250 No objects detected Detection preview by Segmentation_V11_large_300_train_300 No objects detected Detection preview by Segmentation_v8_large_300_train_300
Original Image: P06971.jpg
GT: pliers
pliers Detection preview by Box_v11_medium_train_SIXray_OPIXray pliers Detection preview by DN_Medium_300_yolov8m_20t7_new No objects detected Detection preview by Segmentatation_v8_medium_train_250 No objects detected Detection preview by Segmentation_V11_large_300_train_300 No objects detected Detection preview by Segmentation_v8_large_300_train_300
Original Image: P06972.jpg
GT: pliers
pliers Detection preview by Box_v11_medium_train_SIXray_OPIXray pliers Detection preview by DN_Medium_300_yolov8m_20t7_new No objects detected Detection preview by Segmentatation_v8_medium_train_250 No objects detected Detection preview by Segmentation_V11_large_300_train_300 No objects detected Detection preview by Segmentation_v8_large_300_train_300
Original Image: P06973.jpg
GT: pliers
pliers Detection preview by Box_v11_medium_train_SIXray_OPIXray pliers Detection preview by DN_Medium_300_yolov8m_20t7_new No objects detected Detection preview by Segmentatation_v8_medium_train_250 No objects detected Detection preview by Segmentation_V11_large_300_train_300 No objects detected Detection preview by Segmentation_v8_large_300_train_300
Original Image: P06974.jpg
GT: pliers, wrench
pliers, wrench Detection preview by Box_v11_medium_train_SIXray_OPIXray No objects detected Detection preview by DN_Medium_300_yolov8m_20t7_new wrench Detection preview by Segmentatation_v8_medium_train_250 wrench Detection preview by Segmentation_V11_large_300_train_300 wrench Detection preview by Segmentation_v8_large_300_train_300
Original Image: P06975.jpg
GT: pliers, wrench
pliers, wrench Detection preview by Box_v11_medium_train_SIXray_OPIXray No objects detected Detection preview by DN_Medium_300_yolov8m_20t7_new wrench Detection preview by Segmentatation_v8_medium_train_250 wrench Detection preview by Segmentation_V11_large_300_train_300 wrench Detection preview by Segmentation_v8_large_300_train_300
Original Image: P06976.jpg
GT: pliers
pliers Detection preview by Box_v11_medium_train_SIXray_OPIXray No objects detected Detection preview by DN_Medium_300_yolov8m_20t7_new No objects detected Detection preview by Segmentatation_v8_medium_train_250 wrench Detection preview by Segmentation_V11_large_300_train_300 wrench Detection preview by Segmentation_v8_large_300_train_300
Original Image: P06977.jpg
GT: wrench
wrench Detection preview by Box_v11_medium_train_SIXray_OPIXray No objects detected Detection preview by DN_Medium_300_yolov8m_20t7_new wrench Detection preview by Segmentatation_v8_medium_train_250 wrench Detection preview by Segmentation_V11_large_300_train_300 wrench Detection preview by Segmentation_v8_large_300_train_300
Original Image: P06978.jpg
GT: wrench
wrench Detection preview by Box_v11_medium_train_SIXray_OPIXray No objects detected Detection preview by DN_Medium_300_yolov8m_20t7_new wrench Detection preview by Segmentatation_v8_medium_train_250 wrench Detection preview by Segmentation_V11_large_300_train_300 wrench Detection preview by Segmentation_v8_large_300_train_300
Original Image: P06979.jpg
GT: wrench
wrench Detection preview by Box_v11_medium_train_SIXray_OPIXray No objects detected Detection preview by DN_Medium_300_yolov8m_20t7_new wrench Detection preview by Segmentatation_v8_medium_train_250 wrench Detection preview by Segmentation_V11_large_300_train_300 wrench Detection preview by Segmentation_v8_large_300_train_300
Original Image: P06980.jpg
GT: pliers
pliers Detection preview by Box_v11_medium_train_SIXray_OPIXray No objects detected Detection preview by DN_Medium_300_yolov8m_20t7_new No objects detected Detection preview by Segmentatation_v8_medium_train_250 No objects detected Detection preview by Segmentation_V11_large_300_train_300 No objects detected Detection preview by Segmentation_v8_large_300_train_300
Original Image: P06981.jpg
GT: pliers
pliers Detection preview by Box_v11_medium_train_SIXray_OPIXray No objects detected Detection preview by DN_Medium_300_yolov8m_20t7_new No objects detected Detection preview by Segmentatation_v8_medium_train_250 No objects detected Detection preview by Segmentation_V11_large_300_train_300 No objects detected Detection preview by Segmentation_v8_large_300_train_300
Original Image: P06982.jpg
GT: pliers
pliers Detection preview by Box_v11_medium_train_SIXray_OPIXray No objects detected Detection preview by DN_Medium_300_yolov8m_20t7_new No objects detected Detection preview by Segmentatation_v8_medium_train_250 No objects detected Detection preview by Segmentation_V11_large_300_train_300 No objects detected Detection preview by Segmentation_v8_large_300_train_300
Original Image: P06983.jpg
GT: scissors
scissor Detection preview by Box_v11_medium_train_SIXray_OPIXray No objects detected Detection preview by DN_Medium_300_yolov8m_20t7_new scissor Detection preview by Segmentatation_v8_medium_train_250 scissor Detection preview by Segmentation_V11_large_300_train_300 scissor Detection preview by Segmentation_v8_large_300_train_300
Original Image: P06984.jpg
GT: scissors
scissor Detection preview by Box_v11_medium_train_SIXray_OPIXray No objects detected Detection preview by DN_Medium_300_yolov8m_20t7_new scissor Detection preview by Segmentatation_v8_medium_train_250 scissor Detection preview by Segmentation_V11_large_300_train_300 scissor Detection preview by Segmentation_v8_large_300_train_300
Original Image: P06985.jpg
GT: pliers, wrench
pliers, wrench Detection preview by Box_v11_medium_train_SIXray_OPIXray pliers Detection preview by DN_Medium_300_yolov8m_20t7_new No objects detected Detection preview by Segmentatation_v8_medium_train_250 wrench Detection preview by Segmentation_V11_large_300_train_300 No objects detected Detection preview by Segmentation_v8_large_300_train_300
Original Image: P06986.jpg
GT: pliers, wrench
pliers, wrench Detection preview by Box_v11_medium_train_SIXray_OPIXray pliers Detection preview by DN_Medium_300_yolov8m_20t7_new No objects detected Detection preview by Segmentatation_v8_medium_train_250 wrench Detection preview by Segmentation_V11_large_300_train_300 No objects detected Detection preview by Segmentation_v8_large_300_train_300
Original Image: P06987.jpg
GT: pliers
pliers Detection preview by Box_v11_medium_train_SIXray_OPIXray No objects detected Detection preview by DN_Medium_300_yolov8m_20t7_new No objects detected Detection preview by Segmentatation_v8_medium_train_250 No objects detected Detection preview by Segmentation_V11_large_300_train_300 No objects detected Detection preview by Segmentation_v8_large_300_train_300
Original Image: P06988.jpg
GT: pliers
pliers Detection preview by Box_v11_medium_train_SIXray_OPIXray No objects detected Detection preview by DN_Medium_300_yolov8m_20t7_new No objects detected Detection preview by Segmentatation_v8_medium_train_250 No objects detected Detection preview by Segmentation_V11_large_300_train_300 No objects detected Detection preview by Segmentation_v8_large_300_train_300
Original Image: P06989.jpg
GT: pliers
pliers Detection preview by Box_v11_medium_train_SIXray_OPIXray pliers Detection preview by DN_Medium_300_yolov8m_20t7_new No objects detected Detection preview by Segmentatation_v8_medium_train_250 No objects detected Detection preview by Segmentation_V11_large_300_train_300 No objects detected Detection preview by Segmentation_v8_large_300_train_300
Original Image: P06990.jpg
GT: pliers
pliers Detection preview by Box_v11_medium_train_SIXray_OPIXray pliers Detection preview by DN_Medium_300_yolov8m_20t7_new No objects detected Detection preview by Segmentatation_v8_medium_train_250 No objects detected Detection preview by Segmentation_V11_large_300_train_300 No objects detected Detection preview by Segmentation_v8_large_300_train_300
Original Image: P06991.jpg
GT: pliers
pliers Detection preview by Box_v11_medium_train_SIXray_OPIXray No objects detected Detection preview by DN_Medium_300_yolov8m_20t7_new No objects detected Detection preview by Segmentatation_v8_medium_train_250 No objects detected Detection preview by Segmentation_V11_large_300_train_300 No objects detected Detection preview by Segmentation_v8_large_300_train_300
Original Image: P06992.jpg
GT: pliers, wrench
pliers, wrench Detection preview by Box_v11_medium_train_SIXray_OPIXray No objects detected Detection preview by DN_Medium_300_yolov8m_20t7_new wrench Detection preview by Segmentatation_v8_medium_train_250 wrench Detection preview by Segmentation_V11_large_300_train_300 wrench Detection preview by Segmentation_v8_large_300_train_300
Original Image: P06993.jpg
GT: pliers
pliers Detection preview by Box_v11_medium_train_SIXray_OPIXray No objects detected Detection preview by DN_Medium_300_yolov8m_20t7_new No objects detected Detection preview by Segmentatation_v8_medium_train_250 No objects detected Detection preview by Segmentation_V11_large_300_train_300 No objects detected Detection preview by Segmentation_v8_large_300_train_300
Original Image: P06994.jpg
GT: pliers
pliers Detection preview by Box_v11_medium_train_SIXray_OPIXray No objects detected Detection preview by DN_Medium_300_yolov8m_20t7_new No objects detected Detection preview by Segmentatation_v8_medium_train_250 No objects detected Detection preview by Segmentation_V11_large_300_train_300 No objects detected Detection preview by Segmentation_v8_large_300_train_300
Original Image: P06995.jpg
GT: scissors
scissor Detection preview by Box_v11_medium_train_SIXray_OPIXray No objects detected Detection preview by DN_Medium_300_yolov8m_20t7_new scissor Detection preview by Segmentatation_v8_medium_train_250 scissor Detection preview by Segmentation_V11_large_300_train_300 scissor Detection preview by Segmentation_v8_large_300_train_300
Original Image: P06996.jpg
GT: scissors
scissor Detection preview by Box_v11_medium_train_SIXray_OPIXray No objects detected Detection preview by DN_Medium_300_yolov8m_20t7_new scissor Detection preview by Segmentatation_v8_medium_train_250 scissor Detection preview by Segmentation_V11_large_300_train_300 scissor Detection preview by Segmentation_v8_large_300_train_300
Original Image: P06997.jpg
GT: pliers
pliers Detection preview by Box_v11_medium_train_SIXray_OPIXray No objects detected Detection preview by DN_Medium_300_yolov8m_20t7_new No objects detected Detection preview by Segmentatation_v8_medium_train_250 No objects detected Detection preview by Segmentation_V11_large_300_train_300 No objects detected Detection preview by Segmentation_v8_large_300_train_300
Original Image: P06998.jpg
GT: pliers
pliers Detection preview by Box_v11_medium_train_SIXray_OPIXray No objects detected Detection preview by DN_Medium_300_yolov8m_20t7_new No objects detected Detection preview by Segmentatation_v8_medium_train_250 No objects detected Detection preview by Segmentation_V11_large_300_train_300 No objects detected Detection preview by Segmentation_v8_large_300_train_300
Original Image: P06999.jpg
GT: pliers
pliers Detection preview by Box_v11_medium_train_SIXray_OPIXray No objects detected Detection preview by DN_Medium_300_yolov8m_20t7_new No objects detected Detection preview by Segmentatation_v8_medium_train_250 No objects detected Detection preview by Segmentation_V11_large_300_train_300 No objects detected Detection preview by Segmentation_v8_large_300_train_300
Original Image: P07000.jpg
GT: pliers
pliers Detection preview by Box_v11_medium_train_SIXray_OPIXray No objects detected Detection preview by DN_Medium_300_yolov8m_20t7_new No objects detected Detection preview by Segmentatation_v8_medium_train_250 No objects detected Detection preview by Segmentation_V11_large_300_train_300 No objects detected Detection preview by Segmentation_v8_large_300_train_300
Original Image: P07001.jpg
GT: pliers
pliers Detection preview by Box_v11_medium_train_SIXray_OPIXray No objects detected Detection preview by DN_Medium_300_yolov8m_20t7_new No objects detected Detection preview by Segmentatation_v8_medium_train_250 No objects detected Detection preview by Segmentation_V11_large_300_train_300 No objects detected Detection preview by Segmentation_v8_large_300_train_300
Original Image: P07002.jpg
GT: pliers
pliers Detection preview by Box_v11_medium_train_SIXray_OPIXray No objects detected Detection preview by DN_Medium_300_yolov8m_20t7_new No objects detected Detection preview by Segmentatation_v8_medium_train_250 No objects detected Detection preview by Segmentation_V11_large_300_train_300 No objects detected Detection preview by Segmentation_v8_large_300_train_300
Original Image: P07003.jpg
GT: pliers, wrench
pliers, wrench Detection preview by Box_v11_medium_train_SIXray_OPIXray No objects detected Detection preview by DN_Medium_300_yolov8m_20t7_new wrench Detection preview by Segmentatation_v8_medium_train_250 wrench Detection preview by Segmentation_V11_large_300_train_300 wrench Detection preview by Segmentation_v8_large_300_train_300
Original Image: P07004.jpg
GT: pliers, wrench
pliers, wrench Detection preview by Box_v11_medium_train_SIXray_OPIXray No objects detected Detection preview by DN_Medium_300_yolov8m_20t7_new wrench Detection preview by Segmentatation_v8_medium_train_250 wrench Detection preview by Segmentation_V11_large_300_train_300 wrench Detection preview by Segmentation_v8_large_300_train_300
Original Image: P07005.jpg
GT: pliers
pliers Detection preview by Box_v11_medium_train_SIXray_OPIXray No objects detected Detection preview by DN_Medium_300_yolov8m_20t7_new No objects detected Detection preview by Segmentatation_v8_medium_train_250 No objects detected Detection preview by Segmentation_V11_large_300_train_300 No objects detected Detection preview by Segmentation_v8_large_300_train_300
Original Image: P07006.jpg
GT: pliers
pliers Detection preview by Box_v11_medium_train_SIXray_OPIXray No objects detected Detection preview by DN_Medium_300_yolov8m_20t7_new No objects detected Detection preview by Segmentatation_v8_medium_train_250 No objects detected Detection preview by Segmentation_V11_large_300_train_300 No objects detected Detection preview by Segmentation_v8_large_300_train_300
Original Image: P07007.jpg
GT: pliers, wrench
pliers, wrench Detection preview by Box_v11_medium_train_SIXray_OPIXray No objects detected Detection preview by DN_Medium_300_yolov8m_20t7_new wrench Detection preview by Segmentatation_v8_medium_train_250 wrench Detection preview by Segmentation_V11_large_300_train_300 wrench Detection preview by Segmentation_v8_large_300_train_300
Original Image: P07008.jpg
GT: pliers, wrench
pliers, wrench Detection preview by Box_v11_medium_train_SIXray_OPIXray No objects detected Detection preview by DN_Medium_300_yolov8m_20t7_new wrench Detection preview by Segmentatation_v8_medium_train_250 wrench Detection preview by Segmentation_V11_large_300_train_300 wrench Detection preview by Segmentation_v8_large_300_train_300
Original Image: P07009.jpg
GT: wrench
wrench Detection preview by Box_v11_medium_train_SIXray_OPIXray No objects detected Detection preview by DN_Medium_300_yolov8m_20t7_new wrench Detection preview by Segmentatation_v8_medium_train_250 wrench Detection preview by Segmentation_V11_large_300_train_300 wrench Detection preview by Segmentation_v8_large_300_train_300
Original Image: P07010.jpg
GT: wrench
wrench Detection preview by Box_v11_medium_train_SIXray_OPIXray No objects detected Detection preview by DN_Medium_300_yolov8m_20t7_new wrench Detection preview by Segmentatation_v8_medium_train_250 wrench Detection preview by Segmentation_V11_large_300_train_300 wrench Detection preview by Segmentation_v8_large_300_train_300
Original Image: P07011.jpg
GT: pliers
pliers Detection preview by Box_v11_medium_train_SIXray_OPIXray No objects detected Detection preview by DN_Medium_300_yolov8m_20t7_new No objects detected Detection preview by Segmentatation_v8_medium_train_250 No objects detected Detection preview by Segmentation_V11_large_300_train_300 No objects detected Detection preview by Segmentation_v8_large_300_train_300
Original Image: P07012.jpg
GT: pliers
pliers Detection preview by Box_v11_medium_train_SIXray_OPIXray No objects detected Detection preview by DN_Medium_300_yolov8m_20t7_new No objects detected Detection preview by Segmentatation_v8_medium_train_250 scissor Detection preview by Segmentation_V11_large_300_train_300 No objects detected Detection preview by Segmentation_v8_large_300_train_300
Original Image: P07013.jpg
GT: pliers
pliers Detection preview by Box_v11_medium_train_SIXray_OPIXray No objects detected Detection preview by DN_Medium_300_yolov8m_20t7_new No objects detected Detection preview by Segmentatation_v8_medium_train_250 scissor Detection preview by Segmentation_V11_large_300_train_300 No objects detected Detection preview by Segmentation_v8_large_300_train_300
Original Image: P07014.jpg
GT: wrench
wrench Detection preview by Box_v11_medium_train_SIXray_OPIXray No objects detected Detection preview by DN_Medium_300_yolov8m_20t7_new wrench Detection preview by Segmentatation_v8_medium_train_250 wrench Detection preview by Segmentation_V11_large_300_train_300 wrench Detection preview by Segmentation_v8_large_300_train_300
Original Image: P07015.jpg
GT: wrench
wrench Detection preview by Box_v11_medium_train_SIXray_OPIXray No objects detected Detection preview by DN_Medium_300_yolov8m_20t7_new wrench Detection preview by Segmentatation_v8_medium_train_250 wrench Detection preview by Segmentation_V11_large_300_train_300 wrench Detection preview by Segmentation_v8_large_300_train_300
Original Image: P07016.jpg
GT: pliers
pliers Detection preview by Box_v11_medium_train_SIXray_OPIXray No objects detected Detection preview by DN_Medium_300_yolov8m_20t7_new No objects detected Detection preview by Segmentatation_v8_medium_train_250 No objects detected Detection preview by Segmentation_V11_large_300_train_300 No objects detected Detection preview by Segmentation_v8_large_300_train_300
Original Image: P07017.jpg
GT: pliers
pliers Detection preview by Box_v11_medium_train_SIXray_OPIXray No objects detected Detection preview by DN_Medium_300_yolov8m_20t7_new No objects detected Detection preview by Segmentatation_v8_medium_train_250 No objects detected Detection preview by Segmentation_V11_large_300_train_300 No objects detected Detection preview by Segmentation_v8_large_300_train_300
Original Image: P07018.jpg
GT: pliers
pliers Detection preview by Box_v11_medium_train_SIXray_OPIXray No objects detected Detection preview by DN_Medium_300_yolov8m_20t7_new No objects detected Detection preview by Segmentatation_v8_medium_train_250 No objects detected Detection preview by Segmentation_V11_large_300_train_300 No objects detected Detection preview by Segmentation_v8_large_300_train_300
Original Image: P07019.jpg
GT: wrench
wrench Detection preview by Box_v11_medium_train_SIXray_OPIXray No objects detected Detection preview by DN_Medium_300_yolov8m_20t7_new wrench Detection preview by Segmentatation_v8_medium_train_250 wrench Detection preview by Segmentation_V11_large_300_train_300 wrench Detection preview by Segmentation_v8_large_300_train_300
Original Image: P07020.jpg
GT: wrench
wrench Detection preview by Box_v11_medium_train_SIXray_OPIXray No objects detected Detection preview by DN_Medium_300_yolov8m_20t7_new wrench Detection preview by Segmentatation_v8_medium_train_250 wrench Detection preview by Segmentation_V11_large_300_train_300 wrench Detection preview by Segmentation_v8_large_300_train_300
Original Image: P07021.jpg
GT: wrench
wrench Detection preview by Box_v11_medium_train_SIXray_OPIXray No objects detected Detection preview by DN_Medium_300_yolov8m_20t7_new wrench Detection preview by Segmentatation_v8_medium_train_250 wrench Detection preview by Segmentation_V11_large_300_train_300 wrench Detection preview by Segmentation_v8_large_300_train_300
Original Image: P07022.jpg
GT: pliers
pliers Detection preview by Box_v11_medium_train_SIXray_OPIXray No objects detected Detection preview by DN_Medium_300_yolov8m_20t7_new No objects detected Detection preview by Segmentatation_v8_medium_train_250 No objects detected Detection preview by Segmentation_V11_large_300_train_300 No objects detected Detection preview by Segmentation_v8_large_300_train_300
Original Image: P07023.jpg
GT: pliers
pliers Detection preview by Box_v11_medium_train_SIXray_OPIXray No objects detected Detection preview by DN_Medium_300_yolov8m_20t7_new No objects detected Detection preview by Segmentatation_v8_medium_train_250 No objects detected Detection preview by Segmentation_V11_large_300_train_300 No objects detected Detection preview by Segmentation_v8_large_300_train_300
Original Image: P07024.jpg
GT: pliers
pliers Detection preview by Box_v11_medium_train_SIXray_OPIXray No objects detected Detection preview by DN_Medium_300_yolov8m_20t7_new wrench Detection preview by Segmentatation_v8_medium_train_250 wrench Detection preview by Segmentation_V11_large_300_train_300 wrench Detection preview by Segmentation_v8_large_300_train_300
Original Image: P07025.jpg
GT: pliers
pliers Detection preview by Box_v11_medium_train_SIXray_OPIXray No objects detected Detection preview by DN_Medium_300_yolov8m_20t7_new wrench Detection preview by Segmentatation_v8_medium_train_250 wrench Detection preview by Segmentation_V11_large_300_train_300 wrench Detection preview by Segmentation_v8_large_300_train_300
Original Image: P07026.jpg
GT: pliers
pliers Detection preview by Box_v11_medium_train_SIXray_OPIXray No objects detected Detection preview by DN_Medium_300_yolov8m_20t7_new No objects detected Detection preview by Segmentatation_v8_medium_train_250 No objects detected Detection preview by Segmentation_V11_large_300_train_300 No objects detected Detection preview by Segmentation_v8_large_300_train_300
Original Image: P07027.jpg
GT: pliers
pliers Detection preview by Box_v11_medium_train_SIXray_OPIXray No objects detected Detection preview by DN_Medium_300_yolov8m_20t7_new No objects detected Detection preview by Segmentatation_v8_medium_train_250 No objects detected Detection preview by Segmentation_V11_large_300_train_300 No objects detected Detection preview by Segmentation_v8_large_300_train_300
Original Image: P07028.jpg
GT: pliers
pliers Detection preview by Box_v11_medium_train_SIXray_OPIXray No objects detected Detection preview by DN_Medium_300_yolov8m_20t7_new No objects detected Detection preview by Segmentatation_v8_medium_train_250 No objects detected Detection preview by Segmentation_V11_large_300_train_300 No objects detected Detection preview by Segmentation_v8_large_300_train_300
Original Image: P07029.jpg
GT: pliers
pliers Detection preview by Box_v11_medium_train_SIXray_OPIXray No objects detected Detection preview by DN_Medium_300_yolov8m_20t7_new No objects detected Detection preview by Segmentatation_v8_medium_train_250 No objects detected Detection preview by Segmentation_V11_large_300_train_300 No objects detected Detection preview by Segmentation_v8_large_300_train_300
Original Image: P07030.jpg
GT: pliers, wrench
pliers, wrench Detection preview by Box_v11_medium_train_SIXray_OPIXray No objects detected Detection preview by DN_Medium_300_yolov8m_20t7_new wrench Detection preview by Segmentatation_v8_medium_train_250 wrench Detection preview by Segmentation_V11_large_300_train_300 wrench Detection preview by Segmentation_v8_large_300_train_300
Original Image: P07031.jpg
GT: pliers
pliers Detection preview by Box_v11_medium_train_SIXray_OPIXray pliers Detection preview by DN_Medium_300_yolov8m_20t7_new No objects detected Detection preview by Segmentatation_v8_medium_train_250 No objects detected Detection preview by Segmentation_V11_large_300_train_300 No objects detected Detection preview by Segmentation_v8_large_300_train_300
Original Image: P07032.jpg
GT: pliers
pliers Detection preview by Box_v11_medium_train_SIXray_OPIXray pliers Detection preview by DN_Medium_300_yolov8m_20t7_new No objects detected Detection preview by Segmentatation_v8_medium_train_250 No objects detected Detection preview by Segmentation_V11_large_300_train_300 No objects detected Detection preview by Segmentation_v8_large_300_train_300
Original Image: P07033.jpg
GT: pliers
pliers Detection preview by Box_v11_medium_train_SIXray_OPIXray pliers Detection preview by DN_Medium_300_yolov8m_20t7_new No objects detected Detection preview by Segmentatation_v8_medium_train_250 No objects detected Detection preview by Segmentation_V11_large_300_train_300 No objects detected Detection preview by Segmentation_v8_large_300_train_300
Original Image: P07034.jpg
GT: pliers, wrench
pliers, wrench Detection preview by Box_v11_medium_train_SIXray_OPIXray pliers Detection preview by DN_Medium_300_yolov8m_20t7_new wrench Detection preview by Segmentatation_v8_medium_train_250 wrench Detection preview by Segmentation_V11_large_300_train_300 wrench Detection preview by Segmentation_v8_large_300_train_300
Original Image: P07035.jpg
GT: pliers, wrench
pliers, wrench Detection preview by Box_v11_medium_train_SIXray_OPIXray pliers Detection preview by DN_Medium_300_yolov8m_20t7_new wrench Detection preview by Segmentatation_v8_medium_train_250 wrench Detection preview by Segmentation_V11_large_300_train_300 wrench Detection preview by Segmentation_v8_large_300_train_300
Original Image: P07036.jpg
GT: pliers, wrench
pliers, wrench Detection preview by Box_v11_medium_train_SIXray_OPIXray pliers Detection preview by DN_Medium_300_yolov8m_20t7_new wrench Detection preview by Segmentatation_v8_medium_train_250 wrench Detection preview by Segmentation_V11_large_300_train_300 wrench Detection preview by Segmentation_v8_large_300_train_300
Original Image: P07037.jpg
GT: pliers, wrench
pliers, wrench Detection preview by Box_v11_medium_train_SIXray_OPIXray pliers Detection preview by DN_Medium_300_yolov8m_20t7_new wrench Detection preview by Segmentatation_v8_medium_train_250 wrench Detection preview by Segmentation_V11_large_300_train_300 wrench Detection preview by Segmentation_v8_large_300_train_300
Original Image: P07038.jpg
GT: pliers, wrench
pliers, wrench Detection preview by Box_v11_medium_train_SIXray_OPIXray pliers Detection preview by DN_Medium_300_yolov8m_20t7_new wrench Detection preview by Segmentatation_v8_medium_train_250 wrench Detection preview by Segmentation_V11_large_300_train_300 wrench Detection preview by Segmentation_v8_large_300_train_300
Original Image: P07039.jpg
GT: pliers
pliers Detection preview by Box_v11_medium_train_SIXray_OPIXray No objects detected Detection preview by DN_Medium_300_yolov8m_20t7_new No objects detected Detection preview by Segmentatation_v8_medium_train_250 No objects detected Detection preview by Segmentation_V11_large_300_train_300 No objects detected Detection preview by Segmentation_v8_large_300_train_300
Original Image: P07040.jpg
GT: pliers
pliers Detection preview by Box_v11_medium_train_SIXray_OPIXray No objects detected Detection preview by DN_Medium_300_yolov8m_20t7_new No objects detected Detection preview by Segmentatation_v8_medium_train_250 No objects detected Detection preview by Segmentation_V11_large_300_train_300 No objects detected Detection preview by Segmentation_v8_large_300_train_300
Original Image: P07041.jpg
GT: pliers
pliers Detection preview by Box_v11_medium_train_SIXray_OPIXray No objects detected Detection preview by DN_Medium_300_yolov8m_20t7_new No objects detected Detection preview by Segmentatation_v8_medium_train_250 No objects detected Detection preview by Segmentation_V11_large_300_train_300 No objects detected Detection preview by Segmentation_v8_large_300_train_300
Original Image: P07042.jpg
GT: pliers
pliers Detection preview by Box_v11_medium_train_SIXray_OPIXray pliers Detection preview by DN_Medium_300_yolov8m_20t7_new No objects detected Detection preview by Segmentatation_v8_medium_train_250 No objects detected Detection preview by Segmentation_V11_large_300_train_300 No objects detected Detection preview by Segmentation_v8_large_300_train_300
Original Image: P07043.jpg
GT: pliers
pliers Detection preview by Box_v11_medium_train_SIXray_OPIXray pliers Detection preview by DN_Medium_300_yolov8m_20t7_new No objects detected Detection preview by Segmentatation_v8_medium_train_250 No objects detected Detection preview by Segmentation_V11_large_300_train_300 No objects detected Detection preview by Segmentation_v8_large_300_train_300
Original Image: P07044.jpg
GT: pliers
pliers Detection preview by Box_v11_medium_train_SIXray_OPIXray pliers Detection preview by DN_Medium_300_yolov8m_20t7_new No objects detected Detection preview by Segmentatation_v8_medium_train_250 No objects detected Detection preview by Segmentation_V11_large_300_train_300 No objects detected Detection preview by Segmentation_v8_large_300_train_300
Original Image: P07045.jpg
GT: wrench
wrench Detection preview by Box_v11_medium_train_SIXray_OPIXray No objects detected Detection preview by DN_Medium_300_yolov8m_20t7_new wrench Detection preview by Segmentatation_v8_medium_train_250 wrench Detection preview by Segmentation_V11_large_300_train_300 wrench Detection preview by Segmentation_v8_large_300_train_300
Original Image: P07046.jpg
GT: pliers
pliers Detection preview by Box_v11_medium_train_SIXray_OPIXray No objects detected Detection preview by DN_Medium_300_yolov8m_20t7_new No objects detected Detection preview by Segmentatation_v8_medium_train_250 No objects detected Detection preview by Segmentation_V11_large_300_train_300 No objects detected Detection preview by Segmentation_v8_large_300_train_300
Original Image: P07047.jpg
GT: wrench
pliers, wrench Detection preview by Box_v11_medium_train_SIXray_OPIXray pliers Detection preview by DN_Medium_300_yolov8m_20t7_new No objects detected Detection preview by Segmentatation_v8_medium_train_250 No objects detected Detection preview by Segmentation_V11_large_300_train_300 No objects detected Detection preview by Segmentation_v8_large_300_train_300
Original Image: P07048.jpg
GT: knife
knife Detection preview by Box_v11_medium_train_SIXray_OPIXray No objects detected Detection preview by DN_Medium_300_yolov8m_20t7_new scissor Detection preview by Segmentatation_v8_medium_train_250 scissor Detection preview by Segmentation_V11_large_300_train_300 scissor Detection preview by Segmentation_v8_large_300_train_300
Original Image: P07049.jpg
GT: wrench
wrench Detection preview by Box_v11_medium_train_SIXray_OPIXray No objects detected Detection preview by DN_Medium_300_yolov8m_20t7_new wrench Detection preview by Segmentatation_v8_medium_train_250 wrench Detection preview by Segmentation_V11_large_300_train_300 wrench Detection preview by Segmentation_v8_large_300_train_300
Original Image: P07050.jpg
GT: wrench
wrench Detection preview by Box_v11_medium_train_SIXray_OPIXray No objects detected Detection preview by DN_Medium_300_yolov8m_20t7_new wrench Detection preview by Segmentatation_v8_medium_train_250 wrench Detection preview by Segmentation_V11_large_300_train_300 wrench Detection preview by Segmentation_v8_large_300_train_300
Original Image: P07051.jpg
GT: pliers, wrench
pliers, wrench Detection preview by Box_v11_medium_train_SIXray_OPIXray No objects detected Detection preview by DN_Medium_300_yolov8m_20t7_new No objects detected Detection preview by Segmentatation_v8_medium_train_250 No objects detected Detection preview by Segmentation_V11_large_300_train_300 No objects detected Detection preview by Segmentation_v8_large_300_train_300
Original Image: P07052.jpg
GT: pliers, wrench
pliers, wrench Detection preview by Box_v11_medium_train_SIXray_OPIXray No objects detected Detection preview by DN_Medium_300_yolov8m_20t7_new No objects detected Detection preview by Segmentatation_v8_medium_train_250 No objects detected Detection preview by Segmentation_V11_large_300_train_300 No objects detected Detection preview by Segmentation_v8_large_300_train_300
Original Image: P07053.jpg
GT: pliers, wrench
pliers, wrench Detection preview by Box_v11_medium_train_SIXray_OPIXray No objects detected Detection preview by DN_Medium_300_yolov8m_20t7_new No objects detected Detection preview by Segmentatation_v8_medium_train_250 No objects detected Detection preview by Segmentation_V11_large_300_train_300 No objects detected Detection preview by Segmentation_v8_large_300_train_300
Original Image: P07054.jpg
GT: pliers, wrench
pliers, wrench Detection preview by Box_v11_medium_train_SIXray_OPIXray No objects detected Detection preview by DN_Medium_300_yolov8m_20t7_new No objects detected Detection preview by Segmentatation_v8_medium_train_250 No objects detected Detection preview by Segmentation_V11_large_300_train_300 No objects detected Detection preview by Segmentation_v8_large_300_train_300
Original Image: P07055.jpg
GT: pliers, wrench
pliers, wrench Detection preview by Box_v11_medium_train_SIXray_OPIXray No objects detected Detection preview by DN_Medium_300_yolov8m_20t7_new No objects detected Detection preview by Segmentatation_v8_medium_train_250 No objects detected Detection preview by Segmentation_V11_large_300_train_300 No objects detected Detection preview by Segmentation_v8_large_300_train_300
Original Image: P07056.jpg
GT: pliers, wrench
pliers, wrench Detection preview by Box_v11_medium_train_SIXray_OPIXray No objects detected Detection preview by DN_Medium_300_yolov8m_20t7_new No objects detected Detection preview by Segmentatation_v8_medium_train_250 No objects detected Detection preview by Segmentation_V11_large_300_train_300 No objects detected Detection preview by Segmentation_v8_large_300_train_300
Original Image: P07057.jpg
GT: pliers, wrench
pliers, wrench Detection preview by Box_v11_medium_train_SIXray_OPIXray No objects detected Detection preview by DN_Medium_300_yolov8m_20t7_new No objects detected Detection preview by Segmentatation_v8_medium_train_250 No objects detected Detection preview by Segmentation_V11_large_300_train_300 No objects detected Detection preview by Segmentation_v8_large_300_train_300
Original Image: P07058.jpg
GT: pliers, wrench
pliers, wrench Detection preview by Box_v11_medium_train_SIXray_OPIXray No objects detected Detection preview by DN_Medium_300_yolov8m_20t7_new No objects detected Detection preview by Segmentatation_v8_medium_train_250 No objects detected Detection preview by Segmentation_V11_large_300_train_300 No objects detected Detection preview by Segmentation_v8_large_300_train_300
Original Image: P07059.jpg
GT: pliers, wrench
pliers, wrench Detection preview by Box_v11_medium_train_SIXray_OPIXray No objects detected Detection preview by DN_Medium_300_yolov8m_20t7_new wrench Detection preview by Segmentatation_v8_medium_train_250 wrench Detection preview by Segmentation_V11_large_300_train_300 wrench Detection preview by Segmentation_v8_large_300_train_300
Original Image: P07060.jpg
GT: pliers, wrench
pliers, wrench Detection preview by Box_v11_medium_train_SIXray_OPIXray No objects detected Detection preview by DN_Medium_300_yolov8m_20t7_new wrench Detection preview by Segmentatation_v8_medium_train_250 wrench Detection preview by Segmentation_V11_large_300_train_300 wrench Detection preview by Segmentation_v8_large_300_train_300
Original Image: P07061.jpg
GT: pliers, wrench
pliers, wrench Detection preview by Box_v11_medium_train_SIXray_OPIXray No objects detected Detection preview by DN_Medium_300_yolov8m_20t7_new wrench Detection preview by Segmentatation_v8_medium_train_250 wrench Detection preview by Segmentation_V11_large_300_train_300 wrench Detection preview by Segmentation_v8_large_300_train_300
Original Image: P07062.jpg
GT: pliers
pliers Detection preview by Box_v11_medium_train_SIXray_OPIXray No objects detected Detection preview by DN_Medium_300_yolov8m_20t7_new No objects detected Detection preview by Segmentatation_v8_medium_train_250 No objects detected Detection preview by Segmentation_V11_large_300_train_300 No objects detected Detection preview by Segmentation_v8_large_300_train_300
Original Image: P07063.jpg
GT: pliers
pliers Detection preview by Box_v11_medium_train_SIXray_OPIXray No objects detected Detection preview by DN_Medium_300_yolov8m_20t7_new No objects detected Detection preview by Segmentatation_v8_medium_train_250 No objects detected Detection preview by Segmentation_V11_large_300_train_300 No objects detected Detection preview by Segmentation_v8_large_300_train_300
Original Image: P07064.jpg
GT: scissors, wrench
scissor, wrench Detection preview by Box_v11_medium_train_SIXray_OPIXray No objects detected Detection preview by DN_Medium_300_yolov8m_20t7_new scissor, wrench Detection preview by Segmentatation_v8_medium_train_250 scissor, wrench Detection preview by Segmentation_V11_large_300_train_300 scissor, wrench Detection preview by Segmentation_v8_large_300_train_300
Original Image: P07065.jpg
GT: wrench
wrench Detection preview by Box_v11_medium_train_SIXray_OPIXray No objects detected Detection preview by DN_Medium_300_yolov8m_20t7_new wrench Detection preview by Segmentatation_v8_medium_train_250 wrench Detection preview by Segmentation_V11_large_300_train_300 wrench Detection preview by Segmentation_v8_large_300_train_300
Original Image: P07066.jpg
GT: wrench
wrench Detection preview by Box_v11_medium_train_SIXray_OPIXray No objects detected Detection preview by DN_Medium_300_yolov8m_20t7_new wrench Detection preview by Segmentatation_v8_medium_train_250 wrench Detection preview by Segmentation_V11_large_300_train_300 wrench Detection preview by Segmentation_v8_large_300_train_300
Original Image: P07067.jpg
GT: wrench
wrench Detection preview by Box_v11_medium_train_SIXray_OPIXray No objects detected Detection preview by DN_Medium_300_yolov8m_20t7_new wrench Detection preview by Segmentatation_v8_medium_train_250 wrench Detection preview by Segmentation_V11_large_300_train_300 wrench Detection preview by Segmentation_v8_large_300_train_300
Original Image: P07068.jpg
GT: wrench
wrench Detection preview by Box_v11_medium_train_SIXray_OPIXray No objects detected Detection preview by DN_Medium_300_yolov8m_20t7_new wrench Detection preview by Segmentatation_v8_medium_train_250 wrench Detection preview by Segmentation_V11_large_300_train_300 wrench Detection preview by Segmentation_v8_large_300_train_300
Original Image: P07069.jpg
GT: scissors
scissor Detection preview by Box_v11_medium_train_SIXray_OPIXray No objects detected Detection preview by DN_Medium_300_yolov8m_20t7_new scissor Detection preview by Segmentatation_v8_medium_train_250 scissor Detection preview by Segmentation_V11_large_300_train_300 scissor Detection preview by Segmentation_v8_large_300_train_300
Original Image: P07070.jpg
GT: scissors
scissor Detection preview by Box_v11_medium_train_SIXray_OPIXray No objects detected Detection preview by DN_Medium_300_yolov8m_20t7_new scissor Detection preview by Segmentatation_v8_medium_train_250 scissor Detection preview by Segmentation_V11_large_300_train_300 scissor Detection preview by Segmentation_v8_large_300_train_300
Original Image: P07071.jpg
GT: scissors
scissor Detection preview by Box_v11_medium_train_SIXray_OPIXray No objects detected Detection preview by DN_Medium_300_yolov8m_20t7_new scissor Detection preview by Segmentatation_v8_medium_train_250 scissor Detection preview by Segmentation_V11_large_300_train_300 scissor Detection preview by Segmentation_v8_large_300_train_300
Original Image: P07072.jpg
GT: scissors
scissor Detection preview by Box_v11_medium_train_SIXray_OPIXray No objects detected Detection preview by DN_Medium_300_yolov8m_20t7_new scissor Detection preview by Segmentatation_v8_medium_train_250 scissor Detection preview by Segmentation_V11_large_300_train_300 scissor Detection preview by Segmentation_v8_large_300_train_300
Original Image: P07073.jpg
GT: scissors
scissor Detection preview by Box_v11_medium_train_SIXray_OPIXray No objects detected Detection preview by DN_Medium_300_yolov8m_20t7_new scissor Detection preview by Segmentatation_v8_medium_train_250 scissor Detection preview by Segmentation_V11_large_300_train_300 scissor Detection preview by Segmentation_v8_large_300_train_300
Original Image: P07074.jpg
GT: wrench
wrench Detection preview by Box_v11_medium_train_SIXray_OPIXray No objects detected Detection preview by DN_Medium_300_yolov8m_20t7_new wrench Detection preview by Segmentatation_v8_medium_train_250 wrench Detection preview by Segmentation_V11_large_300_train_300 wrench Detection preview by Segmentation_v8_large_300_train_300
Original Image: P07075.jpg
GT: wrench
wrench Detection preview by Box_v11_medium_train_SIXray_OPIXray No objects detected Detection preview by DN_Medium_300_yolov8m_20t7_new wrench Detection preview by Segmentatation_v8_medium_train_250 wrench Detection preview by Segmentation_V11_large_300_train_300 wrench Detection preview by Segmentation_v8_large_300_train_300
Original Image: P07076.jpg
GT: wrench
wrench Detection preview by Box_v11_medium_train_SIXray_OPIXray No objects detected Detection preview by DN_Medium_300_yolov8m_20t7_new wrench Detection preview by Segmentatation_v8_medium_train_250 wrench Detection preview by Segmentation_V11_large_300_train_300 wrench Detection preview by Segmentation_v8_large_300_train_300
Original Image: P07077.jpg
GT: wrench
wrench Detection preview by Box_v11_medium_train_SIXray_OPIXray No objects detected Detection preview by DN_Medium_300_yolov8m_20t7_new wrench Detection preview by Segmentatation_v8_medium_train_250 wrench Detection preview by Segmentation_V11_large_300_train_300 wrench Detection preview by Segmentation_v8_large_300_train_300
Original Image: P07078.jpg
GT: pliers, wrench
pliers, wrench Detection preview by Box_v11_medium_train_SIXray_OPIXray No objects detected Detection preview by DN_Medium_300_yolov8m_20t7_new wrench Detection preview by Segmentatation_v8_medium_train_250 wrench Detection preview by Segmentation_V11_large_300_train_300 wrench Detection preview by Segmentation_v8_large_300_train_300
Original Image: P07079.jpg
GT: pliers, wrench
pliers, wrench Detection preview by Box_v11_medium_train_SIXray_OPIXray No objects detected Detection preview by DN_Medium_300_yolov8m_20t7_new wrench Detection preview by Segmentatation_v8_medium_train_250 wrench Detection preview by Segmentation_V11_large_300_train_300 wrench Detection preview by Segmentation_v8_large_300_train_300
Original Image: P07080.jpg
GT: wrench
wrench Detection preview by Box_v11_medium_train_SIXray_OPIXray No objects detected Detection preview by DN_Medium_300_yolov8m_20t7_new wrench Detection preview by Segmentatation_v8_medium_train_250 wrench Detection preview by Segmentation_V11_large_300_train_300 wrench Detection preview by Segmentation_v8_large_300_train_300
Original Image: P07081.jpg
GT: wrench
wrench Detection preview by Box_v11_medium_train_SIXray_OPIXray No objects detected Detection preview by DN_Medium_300_yolov8m_20t7_new wrench Detection preview by Segmentatation_v8_medium_train_250 wrench Detection preview by Segmentation_V11_large_300_train_300 wrench Detection preview by Segmentation_v8_large_300_train_300
Original Image: P07082.jpg
GT: pliers, wrench
pliers, wrench Detection preview by Box_v11_medium_train_SIXray_OPIXray No objects detected Detection preview by DN_Medium_300_yolov8m_20t7_new wrench Detection preview by Segmentatation_v8_medium_train_250 wrench Detection preview by Segmentation_V11_large_300_train_300 wrench Detection preview by Segmentation_v8_large_300_train_300
Original Image: P07083.jpg
GT: pliers, wrench
pliers, wrench Detection preview by Box_v11_medium_train_SIXray_OPIXray No objects detected Detection preview by DN_Medium_300_yolov8m_20t7_new wrench Detection preview by Segmentatation_v8_medium_train_250 wrench Detection preview by Segmentation_V11_large_300_train_300 wrench Detection preview by Segmentation_v8_large_300_train_300
Original Image: P07084.jpg
GT: pliers, wrench
pliers, wrench Detection preview by Box_v11_medium_train_SIXray_OPIXray No objects detected Detection preview by DN_Medium_300_yolov8m_20t7_new wrench Detection preview by Segmentatation_v8_medium_train_250 wrench Detection preview by Segmentation_V11_large_300_train_300 wrench Detection preview by Segmentation_v8_large_300_train_300
Original Image: P07085.jpg
GT: pliers, wrench
pliers, wrench Detection preview by Box_v11_medium_train_SIXray_OPIXray No objects detected Detection preview by DN_Medium_300_yolov8m_20t7_new wrench Detection preview by Segmentatation_v8_medium_train_250 wrench Detection preview by Segmentation_V11_large_300_train_300 wrench Detection preview by Segmentation_v8_large_300_train_300
Original Image: P07086.jpg
GT: pliers, wrench
pliers, wrench Detection preview by Box_v11_medium_train_SIXray_OPIXray No objects detected Detection preview by DN_Medium_300_yolov8m_20t7_new wrench Detection preview by Segmentatation_v8_medium_train_250 wrench Detection preview by Segmentation_V11_large_300_train_300 wrench Detection preview by Segmentation_v8_large_300_train_300
Original Image: P07087.jpg
GT: pliers, wrench
pliers, wrench Detection preview by Box_v11_medium_train_SIXray_OPIXray No objects detected Detection preview by DN_Medium_300_yolov8m_20t7_new wrench Detection preview by Segmentatation_v8_medium_train_250 wrench Detection preview by Segmentation_V11_large_300_train_300 wrench Detection preview by Segmentation_v8_large_300_train_300
Original Image: P07088.jpg
GT: pliers, wrench
pliers, wrench Detection preview by Box_v11_medium_train_SIXray_OPIXray pliers Detection preview by DN_Medium_300_yolov8m_20t7_new wrench Detection preview by Segmentatation_v8_medium_train_250 wrench Detection preview by Segmentation_V11_large_300_train_300 wrench Detection preview by Segmentation_v8_large_300_train_300
Original Image: P07089.jpg
GT: pliers, wrench
pliers, wrench Detection preview by Box_v11_medium_train_SIXray_OPIXray pliers Detection preview by DN_Medium_300_yolov8m_20t7_new wrench Detection preview by Segmentatation_v8_medium_train_250 wrench Detection preview by Segmentation_V11_large_300_train_300 wrench Detection preview by Segmentation_v8_large_300_train_300
Original Image: P07090.jpg
GT: pliers, wrench
pliers, wrench Detection preview by Box_v11_medium_train_SIXray_OPIXray No objects detected Detection preview by DN_Medium_300_yolov8m_20t7_new wrench Detection preview by Segmentatation_v8_medium_train_250 wrench Detection preview by Segmentation_V11_large_300_train_300 wrench Detection preview by Segmentation_v8_large_300_train_300
Original Image: P07091.jpg
GT: pliers
pliers Detection preview by Box_v11_medium_train_SIXray_OPIXray No objects detected Detection preview by DN_Medium_300_yolov8m_20t7_new No objects detected Detection preview by Segmentatation_v8_medium_train_250 No objects detected Detection preview by Segmentation_V11_large_300_train_300 No objects detected Detection preview by Segmentation_v8_large_300_train_300
Original Image: P07092.jpg
GT: pliers
pliers Detection preview by Box_v11_medium_train_SIXray_OPIXray No objects detected Detection preview by DN_Medium_300_yolov8m_20t7_new No objects detected Detection preview by Segmentatation_v8_medium_train_250 No objects detected Detection preview by Segmentation_V11_large_300_train_300 No objects detected Detection preview by Segmentation_v8_large_300_train_300
Original Image: P07093.jpg
GT: pliers
pliers Detection preview by Box_v11_medium_train_SIXray_OPIXray No objects detected Detection preview by DN_Medium_300_yolov8m_20t7_new No objects detected Detection preview by Segmentatation_v8_medium_train_250 No objects detected Detection preview by Segmentation_V11_large_300_train_300 No objects detected Detection preview by Segmentation_v8_large_300_train_300
Original Image: P07094.jpg
GT: pliers
pliers Detection preview by Box_v11_medium_train_SIXray_OPIXray No objects detected Detection preview by DN_Medium_300_yolov8m_20t7_new No objects detected Detection preview by Segmentatation_v8_medium_train_250 No objects detected Detection preview by Segmentation_V11_large_300_train_300 No objects detected Detection preview by Segmentation_v8_large_300_train_300
Original Image: P07095.jpg
GT: pliers
pliers Detection preview by Box_v11_medium_train_SIXray_OPIXray No objects detected Detection preview by DN_Medium_300_yolov8m_20t7_new No objects detected Detection preview by Segmentatation_v8_medium_train_250 No objects detected Detection preview by Segmentation_V11_large_300_train_300 No objects detected Detection preview by Segmentation_v8_large_300_train_300
Original Image: P07096.jpg
GT: pliers
pliers Detection preview by Box_v11_medium_train_SIXray_OPIXray No objects detected Detection preview by DN_Medium_300_yolov8m_20t7_new No objects detected Detection preview by Segmentatation_v8_medium_train_250 wrench Detection preview by Segmentation_V11_large_300_train_300 No objects detected Detection preview by Segmentation_v8_large_300_train_300
Original Image: P07097.jpg
GT: knife
knife Detection preview by Box_v11_medium_train_SIXray_OPIXray No objects detected Detection preview by DN_Medium_300_yolov8m_20t7_new scissor Detection preview by Segmentatation_v8_medium_train_250 No objects detected Detection preview by Segmentation_V11_large_300_train_300 No objects detected Detection preview by Segmentation_v8_large_300_train_300
Original Image: P07098.jpg
GT: wrench
wrench Detection preview by Box_v11_medium_train_SIXray_OPIXray No objects detected Detection preview by DN_Medium_300_yolov8m_20t7_new wrench Detection preview by Segmentatation_v8_medium_train_250 wrench Detection preview by Segmentation_V11_large_300_train_300 No objects detected Detection preview by Segmentation_v8_large_300_train_300
Original Image: P07099.jpg
GT: scissors
scissor Detection preview by Box_v11_medium_train_SIXray_OPIXray No objects detected Detection preview by DN_Medium_300_yolov8m_20t7_new scissor Detection preview by Segmentatation_v8_medium_train_250 scissor Detection preview by Segmentation_V11_large_300_train_300 scissor Detection preview by Segmentation_v8_large_300_train_300
Original Image: P07100.jpg
GT: wrench
wrench Detection preview by Box_v11_medium_train_SIXray_OPIXray No objects detected Detection preview by DN_Medium_300_yolov8m_20t7_new wrench Detection preview by Segmentatation_v8_medium_train_250 wrench Detection preview by Segmentation_V11_large_300_train_300 wrench Detection preview by Segmentation_v8_large_300_train_300
Original Image: P07101.jpg
GT: knife
knife Detection preview by Box_v11_medium_train_SIXray_OPIXray No objects detected Detection preview by DN_Medium_300_yolov8m_20t7_new knife Detection preview by Segmentatation_v8_medium_train_250 knife Detection preview by Segmentation_V11_large_300_train_300 knife Detection preview by Segmentation_v8_large_300_train_300
Original Image: P07102.jpg
GT: knife
knife Detection preview by Box_v11_medium_train_SIXray_OPIXray No objects detected Detection preview by DN_Medium_300_yolov8m_20t7_new knife Detection preview by Segmentatation_v8_medium_train_250 knife Detection preview by Segmentation_V11_large_300_train_300 knife Detection preview by Segmentation_v8_large_300_train_300
Original Image: P07103.jpg
GT: scissors
scissor Detection preview by Box_v11_medium_train_SIXray_OPIXray scissor Detection preview by DN_Medium_300_yolov8m_20t7_new scissor Detection preview by Segmentatation_v8_medium_train_250 scissor Detection preview by Segmentation_V11_large_300_train_300 scissor Detection preview by Segmentation_v8_large_300_train_300
Original Image: P07104.jpg
GT: scissors
scissor Detection preview by Box_v11_medium_train_SIXray_OPIXray scissor Detection preview by DN_Medium_300_yolov8m_20t7_new scissor Detection preview by Segmentatation_v8_medium_train_250 scissor Detection preview by Segmentation_V11_large_300_train_300 scissor Detection preview by Segmentation_v8_large_300_train_300
Original Image: P07105.jpg
GT: scissors
scissor Detection preview by Box_v11_medium_train_SIXray_OPIXray scissor Detection preview by DN_Medium_300_yolov8m_20t7_new scissor Detection preview by Segmentatation_v8_medium_train_250 scissor Detection preview by Segmentation_V11_large_300_train_300 scissor Detection preview by Segmentation_v8_large_300_train_300
Original Image: P07106.jpg
GT: scissors
scissor Detection preview by Box_v11_medium_train_SIXray_OPIXray No objects detected Detection preview by DN_Medium_300_yolov8m_20t7_new scissor Detection preview by Segmentatation_v8_medium_train_250 scissor Detection preview by Segmentation_V11_large_300_train_300 scissor Detection preview by Segmentation_v8_large_300_train_300
Original Image: P07107.jpg
GT: scissors
scissor Detection preview by Box_v11_medium_train_SIXray_OPIXray No objects detected Detection preview by DN_Medium_300_yolov8m_20t7_new scissor Detection preview by Segmentatation_v8_medium_train_250 scissor Detection preview by Segmentation_V11_large_300_train_300 scissor Detection preview by Segmentation_v8_large_300_train_300
Original Image: P07108.jpg
GT: scissors
scissor Detection preview by Box_v11_medium_train_SIXray_OPIXray No objects detected Detection preview by DN_Medium_300_yolov8m_20t7_new scissor Detection preview by Segmentatation_v8_medium_train_250 scissor Detection preview by Segmentation_V11_large_300_train_300 scissor Detection preview by Segmentation_v8_large_300_train_300
Original Image: P07109.jpg
GT: pliers
pliers Detection preview by Box_v11_medium_train_SIXray_OPIXray No objects detected Detection preview by DN_Medium_300_yolov8m_20t7_new No objects detected Detection preview by Segmentatation_v8_medium_train_250 No objects detected Detection preview by Segmentation_V11_large_300_train_300 No objects detected Detection preview by Segmentation_v8_large_300_train_300
Original Image: P07110.jpg
GT: wrench
wrench Detection preview by Box_v11_medium_train_SIXray_OPIXray No objects detected Detection preview by DN_Medium_300_yolov8m_20t7_new wrench Detection preview by Segmentatation_v8_medium_train_250 wrench Detection preview by Segmentation_V11_large_300_train_300 wrench Detection preview by Segmentation_v8_large_300_train_300
Original Image: P07111.jpg
GT: wrench
wrench Detection preview by Box_v11_medium_train_SIXray_OPIXray No objects detected Detection preview by DN_Medium_300_yolov8m_20t7_new wrench Detection preview by Segmentatation_v8_medium_train_250 wrench Detection preview by Segmentation_V11_large_300_train_300 wrench Detection preview by Segmentation_v8_large_300_train_300
Original Image: P07112.jpg
GT: scissors
scissor Detection preview by Box_v11_medium_train_SIXray_OPIXray No objects detected Detection preview by DN_Medium_300_yolov8m_20t7_new scissor Detection preview by Segmentatation_v8_medium_train_250 scissor Detection preview by Segmentation_V11_large_300_train_300 scissor Detection preview by Segmentation_v8_large_300_train_300
Original Image: P07113.jpg
GT: scissors
scissor Detection preview by Box_v11_medium_train_SIXray_OPIXray No objects detected Detection preview by DN_Medium_300_yolov8m_20t7_new scissor Detection preview by Segmentatation_v8_medium_train_250 scissor Detection preview by Segmentation_V11_large_300_train_300 scissor Detection preview by Segmentation_v8_large_300_train_300
Original Image: P07114.jpg
GT: scissors
scissor Detection preview by Box_v11_medium_train_SIXray_OPIXray No objects detected Detection preview by DN_Medium_300_yolov8m_20t7_new scissor Detection preview by Segmentatation_v8_medium_train_250 scissor Detection preview by Segmentation_V11_large_300_train_300 scissor Detection preview by Segmentation_v8_large_300_train_300
Original Image: P07115.jpg
GT: pliers, wrench
pliers, wrench Detection preview by Box_v11_medium_train_SIXray_OPIXray No objects detected Detection preview by DN_Medium_300_yolov8m_20t7_new wrench Detection preview by Segmentatation_v8_medium_train_250 wrench Detection preview by Segmentation_V11_large_300_train_300 wrench Detection preview by Segmentation_v8_large_300_train_300
Original Image: P07116.jpg
GT: pliers, wrench
pliers, wrench Detection preview by Box_v11_medium_train_SIXray_OPIXray No objects detected Detection preview by DN_Medium_300_yolov8m_20t7_new wrench Detection preview by Segmentatation_v8_medium_train_250 wrench Detection preview by Segmentation_V11_large_300_train_300 wrench Detection preview by Segmentation_v8_large_300_train_300
Original Image: P07117.jpg
GT: pliers, wrench
pliers, wrench Detection preview by Box_v11_medium_train_SIXray_OPIXray No objects detected Detection preview by DN_Medium_300_yolov8m_20t7_new scissor, wrench Detection preview by Segmentatation_v8_medium_train_250 wrench Detection preview by Segmentation_V11_large_300_train_300 wrench Detection preview by Segmentation_v8_large_300_train_300
Original Image: P07118.jpg
GT: wrench
wrench Detection preview by Box_v11_medium_train_SIXray_OPIXray No objects detected Detection preview by DN_Medium_300_yolov8m_20t7_new wrench Detection preview by Segmentatation_v8_medium_train_250 wrench Detection preview by Segmentation_V11_large_300_train_300 wrench Detection preview by Segmentation_v8_large_300_train_300
Original Image: P07119.jpg
GT: wrench
wrench Detection preview by Box_v11_medium_train_SIXray_OPIXray No objects detected Detection preview by DN_Medium_300_yolov8m_20t7_new wrench Detection preview by Segmentatation_v8_medium_train_250 wrench Detection preview by Segmentation_V11_large_300_train_300 wrench Detection preview by Segmentation_v8_large_300_train_300
Original Image: P07120.jpg
GT: wrench
wrench Detection preview by Box_v11_medium_train_SIXray_OPIXray No objects detected Detection preview by DN_Medium_300_yolov8m_20t7_new wrench Detection preview by Segmentatation_v8_medium_train_250 wrench Detection preview by Segmentation_V11_large_300_train_300 wrench Detection preview by Segmentation_v8_large_300_train_300
Original Image: P07121.jpg
GT: wrench
wrench Detection preview by Box_v11_medium_train_SIXray_OPIXray No objects detected Detection preview by DN_Medium_300_yolov8m_20t7_new wrench Detection preview by Segmentatation_v8_medium_train_250 wrench Detection preview by Segmentation_V11_large_300_train_300 wrench Detection preview by Segmentation_v8_large_300_train_300
Original Image: P07122.jpg
GT: wrench
wrench Detection preview by Box_v11_medium_train_SIXray_OPIXray No objects detected Detection preview by DN_Medium_300_yolov8m_20t7_new wrench Detection preview by Segmentatation_v8_medium_train_250 wrench Detection preview by Segmentation_V11_large_300_train_300 wrench Detection preview by Segmentation_v8_large_300_train_300
Original Image: P07123.jpg
GT: wrench
wrench Detection preview by Box_v11_medium_train_SIXray_OPIXray No objects detected Detection preview by DN_Medium_300_yolov8m_20t7_new wrench Detection preview by Segmentatation_v8_medium_train_250 wrench Detection preview by Segmentation_V11_large_300_train_300 wrench Detection preview by Segmentation_v8_large_300_train_300
Original Image: P07124.jpg
GT: wrench
wrench Detection preview by Box_v11_medium_train_SIXray_OPIXray No objects detected Detection preview by DN_Medium_300_yolov8m_20t7_new wrench Detection preview by Segmentatation_v8_medium_train_250 wrench Detection preview by Segmentation_V11_large_300_train_300 wrench Detection preview by Segmentation_v8_large_300_train_300
Original Image: P07125.jpg
GT: wrench
wrench Detection preview by Box_v11_medium_train_SIXray_OPIXray No objects detected Detection preview by DN_Medium_300_yolov8m_20t7_new wrench Detection preview by Segmentatation_v8_medium_train_250 wrench Detection preview by Segmentation_V11_large_300_train_300 wrench Detection preview by Segmentation_v8_large_300_train_300
Original Image: P07126.jpg
GT: pliers
pliers Detection preview by Box_v11_medium_train_SIXray_OPIXray No objects detected Detection preview by DN_Medium_300_yolov8m_20t7_new No objects detected Detection preview by Segmentatation_v8_medium_train_250 No objects detected Detection preview by Segmentation_V11_large_300_train_300 No objects detected Detection preview by Segmentation_v8_large_300_train_300
Original Image: P07127.jpg
GT: pliers
pliers Detection preview by Box_v11_medium_train_SIXray_OPIXray pliers Detection preview by DN_Medium_300_yolov8m_20t7_new No objects detected Detection preview by Segmentatation_v8_medium_train_250 No objects detected Detection preview by Segmentation_V11_large_300_train_300 No objects detected Detection preview by Segmentation_v8_large_300_train_300
Original Image: P07128.jpg
GT: scissors
scissor Detection preview by Box_v11_medium_train_SIXray_OPIXray No objects detected Detection preview by DN_Medium_300_yolov8m_20t7_new scissor Detection preview by Segmentatation_v8_medium_train_250 scissor Detection preview by Segmentation_V11_large_300_train_300 scissor Detection preview by Segmentation_v8_large_300_train_300
Original Image: P07129.jpg
GT: knife
knife Detection preview by Box_v11_medium_train_SIXray_OPIXray No objects detected Detection preview by DN_Medium_300_yolov8m_20t7_new scissor Detection preview by Segmentatation_v8_medium_train_250 scissor Detection preview by Segmentation_V11_large_300_train_300 scissor Detection preview by Segmentation_v8_large_300_train_300
Original Image: P07130.jpg
GT: knife
knife Detection preview by Box_v11_medium_train_SIXray_OPIXray No objects detected Detection preview by DN_Medium_300_yolov8m_20t7_new scissor Detection preview by Segmentatation_v8_medium_train_250 scissor Detection preview by Segmentation_V11_large_300_train_300 scissor Detection preview by Segmentation_v8_large_300_train_300
Original Image: P07131.jpg
GT: scissors
scissor Detection preview by Box_v11_medium_train_SIXray_OPIXray No objects detected Detection preview by DN_Medium_300_yolov8m_20t7_new scissor Detection preview by Segmentatation_v8_medium_train_250 scissor Detection preview by Segmentation_V11_large_300_train_300 scissor Detection preview by Segmentation_v8_large_300_train_300
Original Image: P07132.jpg
GT: scissors
scissor Detection preview by Box_v11_medium_train_SIXray_OPIXray No objects detected Detection preview by DN_Medium_300_yolov8m_20t7_new scissor Detection preview by Segmentatation_v8_medium_train_250 scissor Detection preview by Segmentation_V11_large_300_train_300 scissor Detection preview by Segmentation_v8_large_300_train_300
Original Image: P07133.jpg
GT: scissors
scissor Detection preview by Box_v11_medium_train_SIXray_OPIXray No objects detected Detection preview by DN_Medium_300_yolov8m_20t7_new scissor Detection preview by Segmentatation_v8_medium_train_250 scissor Detection preview by Segmentation_V11_large_300_train_300 scissor Detection preview by Segmentation_v8_large_300_train_300
Original Image: P07134.jpg
GT: pliers
pliers Detection preview by Box_v11_medium_train_SIXray_OPIXray No objects detected Detection preview by DN_Medium_300_yolov8m_20t7_new No objects detected Detection preview by Segmentatation_v8_medium_train_250 No objects detected Detection preview by Segmentation_V11_large_300_train_300 No objects detected Detection preview by Segmentation_v8_large_300_train_300
Original Image: P07135.jpg
GT: pliers
pliers Detection preview by Box_v11_medium_train_SIXray_OPIXray No objects detected Detection preview by DN_Medium_300_yolov8m_20t7_new No objects detected Detection preview by Segmentatation_v8_medium_train_250 No objects detected Detection preview by Segmentation_V11_large_300_train_300 No objects detected Detection preview by Segmentation_v8_large_300_train_300
Original Image: P07136.jpg
GT: pliers
pliers Detection preview by Box_v11_medium_train_SIXray_OPIXray No objects detected Detection preview by DN_Medium_300_yolov8m_20t7_new No objects detected Detection preview by Segmentatation_v8_medium_train_250 No objects detected Detection preview by Segmentation_V11_large_300_train_300 No objects detected Detection preview by Segmentation_v8_large_300_train_300
Original Image: P07137.jpg
GT: pliers
pliers Detection preview by Box_v11_medium_train_SIXray_OPIXray No objects detected Detection preview by DN_Medium_300_yolov8m_20t7_new No objects detected Detection preview by Segmentatation_v8_medium_train_250 No objects detected Detection preview by Segmentation_V11_large_300_train_300 No objects detected Detection preview by Segmentation_v8_large_300_train_300
Original Image: P07138.jpg
GT: wrench
wrench Detection preview by Box_v11_medium_train_SIXray_OPIXray scissor Detection preview by DN_Medium_300_yolov8m_20t7_new wrench Detection preview by Segmentatation_v8_medium_train_250 wrench Detection preview by Segmentation_V11_large_300_train_300 wrench Detection preview by Segmentation_v8_large_300_train_300
Original Image: P07139.jpg
GT: pliers, wrench
pliers, wrench Detection preview by Box_v11_medium_train_SIXray_OPIXray No objects detected Detection preview by DN_Medium_300_yolov8m_20t7_new wrench Detection preview by Segmentatation_v8_medium_train_250 wrench Detection preview by Segmentation_V11_large_300_train_300 wrench Detection preview by Segmentation_v8_large_300_train_300
Original Image: P07140.jpg
GT: pliers, wrench
pliers, wrench Detection preview by Box_v11_medium_train_SIXray_OPIXray pliers, scissor Detection preview by DN_Medium_300_yolov8m_20t7_new wrench Detection preview by Segmentatation_v8_medium_train_250 wrench Detection preview by Segmentation_V11_large_300_train_300 wrench Detection preview by Segmentation_v8_large_300_train_300
Original Image: P07141.jpg
GT: pliers
pliers Detection preview by Box_v11_medium_train_SIXray_OPIXray No objects detected Detection preview by DN_Medium_300_yolov8m_20t7_new No objects detected Detection preview by Segmentatation_v8_medium_train_250 No objects detected Detection preview by Segmentation_V11_large_300_train_300 No objects detected Detection preview by Segmentation_v8_large_300_train_300
Original Image: P07142.jpg
GT: pliers
pliers Detection preview by Box_v11_medium_train_SIXray_OPIXray pliers Detection preview by DN_Medium_300_yolov8m_20t7_new No objects detected Detection preview by Segmentatation_v8_medium_train_250 No objects detected Detection preview by Segmentation_V11_large_300_train_300 No objects detected Detection preview by Segmentation_v8_large_300_train_300
Original Image: P07143.jpg
GT: pliers
pliers Detection preview by Box_v11_medium_train_SIXray_OPIXray pliers Detection preview by DN_Medium_300_yolov8m_20t7_new No objects detected Detection preview by Segmentatation_v8_medium_train_250 No objects detected Detection preview by Segmentation_V11_large_300_train_300 No objects detected Detection preview by Segmentation_v8_large_300_train_300
Original Image: P07144.jpg
GT: scissors
scissor Detection preview by Box_v11_medium_train_SIXray_OPIXray No objects detected Detection preview by DN_Medium_300_yolov8m_20t7_new No objects detected Detection preview by Segmentatation_v8_medium_train_250 No objects detected Detection preview by Segmentation_V11_large_300_train_300 No objects detected Detection preview by Segmentation_v8_large_300_train_300
Original Image: P07145.jpg
GT: pliers
pliers Detection preview by Box_v11_medium_train_SIXray_OPIXray No objects detected Detection preview by DN_Medium_300_yolov8m_20t7_new No objects detected Detection preview by Segmentatation_v8_medium_train_250 No objects detected Detection preview by Segmentation_V11_large_300_train_300 No objects detected Detection preview by Segmentation_v8_large_300_train_300
Original Image: P07146.jpg
GT: pliers
pliers Detection preview by Box_v11_medium_train_SIXray_OPIXray No objects detected Detection preview by DN_Medium_300_yolov8m_20t7_new No objects detected Detection preview by Segmentatation_v8_medium_train_250 No objects detected Detection preview by Segmentation_V11_large_300_train_300 No objects detected Detection preview by Segmentation_v8_large_300_train_300
Original Image: P07147.jpg
GT: pliers
pliers Detection preview by Box_v11_medium_train_SIXray_OPIXray No objects detected Detection preview by DN_Medium_300_yolov8m_20t7_new No objects detected Detection preview by Segmentatation_v8_medium_train_250 No objects detected Detection preview by Segmentation_V11_large_300_train_300 No objects detected Detection preview by Segmentation_v8_large_300_train_300
Original Image: P07148.jpg
GT: pliers
pliers Detection preview by Box_v11_medium_train_SIXray_OPIXray No objects detected Detection preview by DN_Medium_300_yolov8m_20t7_new No objects detected Detection preview by Segmentatation_v8_medium_train_250 No objects detected Detection preview by Segmentation_V11_large_300_train_300 No objects detected Detection preview by Segmentation_v8_large_300_train_300
Original Image: P07149.jpg
GT: pliers
pliers Detection preview by Box_v11_medium_train_SIXray_OPIXray No objects detected Detection preview by DN_Medium_300_yolov8m_20t7_new No objects detected Detection preview by Segmentatation_v8_medium_train_250 No objects detected Detection preview by Segmentation_V11_large_300_train_300 No objects detected Detection preview by Segmentation_v8_large_300_train_300
Original Image: P07150.jpg
GT: pliers
pliers Detection preview by Box_v11_medium_train_SIXray_OPIXray No objects detected Detection preview by DN_Medium_300_yolov8m_20t7_new No objects detected Detection preview by Segmentatation_v8_medium_train_250 No objects detected Detection preview by Segmentation_V11_large_300_train_300 No objects detected Detection preview by Segmentation_v8_large_300_train_300
Original Image: P07151.jpg
GT: scissors
scissor Detection preview by Box_v11_medium_train_SIXray_OPIXray No objects detected Detection preview by DN_Medium_300_yolov8m_20t7_new scissor Detection preview by Segmentatation_v8_medium_train_250 scissor Detection preview by Segmentation_V11_large_300_train_300 scissor Detection preview by Segmentation_v8_large_300_train_300
Original Image: P07152.jpg
GT: scissors
scissor Detection preview by Box_v11_medium_train_SIXray_OPIXray No objects detected Detection preview by DN_Medium_300_yolov8m_20t7_new scissor Detection preview by Segmentatation_v8_medium_train_250 scissor Detection preview by Segmentation_V11_large_300_train_300 scissor Detection preview by Segmentation_v8_large_300_train_300
Original Image: P07153.jpg
GT: scissors
scissor Detection preview by Box_v11_medium_train_SIXray_OPIXray No objects detected Detection preview by DN_Medium_300_yolov8m_20t7_new scissor Detection preview by Segmentatation_v8_medium_train_250 scissor Detection preview by Segmentation_V11_large_300_train_300 scissor Detection preview by Segmentation_v8_large_300_train_300
Original Image: P07154.jpg
GT: scissors
scissor Detection preview by Box_v11_medium_train_SIXray_OPIXray No objects detected Detection preview by DN_Medium_300_yolov8m_20t7_new scissor Detection preview by Segmentatation_v8_medium_train_250 scissor Detection preview by Segmentation_V11_large_300_train_300 scissor Detection preview by Segmentation_v8_large_300_train_300
Original Image: P07155.jpg
GT: pliers
pliers Detection preview by Box_v11_medium_train_SIXray_OPIXray No objects detected Detection preview by DN_Medium_300_yolov8m_20t7_new No objects detected Detection preview by Segmentatation_v8_medium_train_250 No objects detected Detection preview by Segmentation_V11_large_300_train_300 No objects detected Detection preview by Segmentation_v8_large_300_train_300
Original Image: P07156.jpg
GT: pliers
pliers Detection preview by Box_v11_medium_train_SIXray_OPIXray No objects detected Detection preview by DN_Medium_300_yolov8m_20t7_new No objects detected Detection preview by Segmentatation_v8_medium_train_250 No objects detected Detection preview by Segmentation_V11_large_300_train_300 No objects detected Detection preview by Segmentation_v8_large_300_train_300
Original Image: P07157.jpg
GT: wrench
wrench Detection preview by Box_v11_medium_train_SIXray_OPIXray No objects detected Detection preview by DN_Medium_300_yolov8m_20t7_new wrench Detection preview by Segmentatation_v8_medium_train_250 wrench Detection preview by Segmentation_V11_large_300_train_300 wrench Detection preview by Segmentation_v8_large_300_train_300
Original Image: P07158.jpg
GT: pliers
pliers Detection preview by Box_v11_medium_train_SIXray_OPIXray No objects detected Detection preview by DN_Medium_300_yolov8m_20t7_new scissor Detection preview by Segmentatation_v8_medium_train_250 No objects detected Detection preview by Segmentation_V11_large_300_train_300 No objects detected Detection preview by Segmentation_v8_large_300_train_300
Original Image: P07159.jpg
GT: scissors
scissor Detection preview by Box_v11_medium_train_SIXray_OPIXray No objects detected Detection preview by DN_Medium_300_yolov8m_20t7_new scissor Detection preview by Segmentatation_v8_medium_train_250 scissor Detection preview by Segmentation_V11_large_300_train_300 scissor Detection preview by Segmentation_v8_large_300_train_300
Original Image: P07160.jpg
GT: pliers
pliers Detection preview by Box_v11_medium_train_SIXray_OPIXray No objects detected Detection preview by DN_Medium_300_yolov8m_20t7_new No objects detected Detection preview by Segmentatation_v8_medium_train_250 No objects detected Detection preview by Segmentation_V11_large_300_train_300 No objects detected Detection preview by Segmentation_v8_large_300_train_300
Original Image: P07161.jpg
GT: pliers
pliers Detection preview by Box_v11_medium_train_SIXray_OPIXray No objects detected Detection preview by DN_Medium_300_yolov8m_20t7_new No objects detected Detection preview by Segmentatation_v8_medium_train_250 No objects detected Detection preview by Segmentation_V11_large_300_train_300 No objects detected Detection preview by Segmentation_v8_large_300_train_300
Original Image: P07162.jpg
GT: pliers
pliers Detection preview by Box_v11_medium_train_SIXray_OPIXray No objects detected Detection preview by DN_Medium_300_yolov8m_20t7_new No objects detected Detection preview by Segmentatation_v8_medium_train_250 No objects detected Detection preview by Segmentation_V11_large_300_train_300 No objects detected Detection preview by Segmentation_v8_large_300_train_300
Original Image: P07163.jpg
GT: pliers
pliers Detection preview by Box_v11_medium_train_SIXray_OPIXray No objects detected Detection preview by DN_Medium_300_yolov8m_20t7_new No objects detected Detection preview by Segmentatation_v8_medium_train_250 No objects detected Detection preview by Segmentation_V11_large_300_train_300 No objects detected Detection preview by Segmentation_v8_large_300_train_300
Original Image: P07164.jpg
GT: pliers, wrench
pliers, wrench Detection preview by Box_v11_medium_train_SIXray_OPIXray No objects detected Detection preview by DN_Medium_300_yolov8m_20t7_new wrench Detection preview by Segmentatation_v8_medium_train_250 wrench Detection preview by Segmentation_V11_large_300_train_300 wrench Detection preview by Segmentation_v8_large_300_train_300
Original Image: P07165.jpg
GT: pliers, wrench
pliers, wrench Detection preview by Box_v11_medium_train_SIXray_OPIXray No objects detected Detection preview by DN_Medium_300_yolov8m_20t7_new wrench Detection preview by Segmentatation_v8_medium_train_250 wrench Detection preview by Segmentation_V11_large_300_train_300 wrench Detection preview by Segmentation_v8_large_300_train_300
Original Image: P07166.jpg
GT: pliers, wrench
pliers, wrench Detection preview by Box_v11_medium_train_SIXray_OPIXray No objects detected Detection preview by DN_Medium_300_yolov8m_20t7_new wrench Detection preview by Segmentatation_v8_medium_train_250 wrench Detection preview by Segmentation_V11_large_300_train_300 wrench Detection preview by Segmentation_v8_large_300_train_300
Original Image: P07167.jpg
GT: pliers
pliers Detection preview by Box_v11_medium_train_SIXray_OPIXray No objects detected Detection preview by DN_Medium_300_yolov8m_20t7_new No objects detected Detection preview by Segmentatation_v8_medium_train_250 No objects detected Detection preview by Segmentation_V11_large_300_train_300 No objects detected Detection preview by Segmentation_v8_large_300_train_300
Original Image: P07168.jpg
GT: pliers
pliers Detection preview by Box_v11_medium_train_SIXray_OPIXray No objects detected Detection preview by DN_Medium_300_yolov8m_20t7_new No objects detected Detection preview by Segmentatation_v8_medium_train_250 No objects detected Detection preview by Segmentation_V11_large_300_train_300 No objects detected Detection preview by Segmentation_v8_large_300_train_300
Original Image: P07169.jpg
GT: pliers
pliers Detection preview by Box_v11_medium_train_SIXray_OPIXray No objects detected Detection preview by DN_Medium_300_yolov8m_20t7_new No objects detected Detection preview by Segmentatation_v8_medium_train_250 No objects detected Detection preview by Segmentation_V11_large_300_train_300 No objects detected Detection preview by Segmentation_v8_large_300_train_300
Original Image: P07170.jpg
GT: pliers
pliers Detection preview by Box_v11_medium_train_SIXray_OPIXray No objects detected Detection preview by DN_Medium_300_yolov8m_20t7_new No objects detected Detection preview by Segmentatation_v8_medium_train_250 No objects detected Detection preview by Segmentation_V11_large_300_train_300 No objects detected Detection preview by Segmentation_v8_large_300_train_300
Original Image: P07171.jpg
GT: pliers
pliers Detection preview by Box_v11_medium_train_SIXray_OPIXray No objects detected Detection preview by DN_Medium_300_yolov8m_20t7_new No objects detected Detection preview by Segmentatation_v8_medium_train_250 No objects detected Detection preview by Segmentation_V11_large_300_train_300 No objects detected Detection preview by Segmentation_v8_large_300_train_300
Original Image: P07172.jpg
GT: pliers
pliers Detection preview by Box_v11_medium_train_SIXray_OPIXray No objects detected Detection preview by DN_Medium_300_yolov8m_20t7_new No objects detected Detection preview by Segmentatation_v8_medium_train_250 No objects detected Detection preview by Segmentation_V11_large_300_train_300 No objects detected Detection preview by Segmentation_v8_large_300_train_300
Original Image: P07173.jpg
GT: pliers
pliers Detection preview by Box_v11_medium_train_SIXray_OPIXray No objects detected Detection preview by DN_Medium_300_yolov8m_20t7_new No objects detected Detection preview by Segmentatation_v8_medium_train_250 No objects detected Detection preview by Segmentation_V11_large_300_train_300 No objects detected Detection preview by Segmentation_v8_large_300_train_300
Original Image: P07174.jpg
GT: pliers
pliers Detection preview by Box_v11_medium_train_SIXray_OPIXray No objects detected Detection preview by DN_Medium_300_yolov8m_20t7_new No objects detected Detection preview by Segmentatation_v8_medium_train_250 No objects detected Detection preview by Segmentation_V11_large_300_train_300 No objects detected Detection preview by Segmentation_v8_large_300_train_300
Original Image: P07175.jpg
GT: wrench
wrench Detection preview by Box_v11_medium_train_SIXray_OPIXray No objects detected Detection preview by DN_Medium_300_yolov8m_20t7_new wrench Detection preview by Segmentatation_v8_medium_train_250 wrench Detection preview by Segmentation_V11_large_300_train_300 wrench Detection preview by Segmentation_v8_large_300_train_300
Original Image: P07176.jpg
GT: wrench
wrench Detection preview by Box_v11_medium_train_SIXray_OPIXray No objects detected Detection preview by DN_Medium_300_yolov8m_20t7_new wrench Detection preview by Segmentatation_v8_medium_train_250 wrench Detection preview by Segmentation_V11_large_300_train_300 wrench Detection preview by Segmentation_v8_large_300_train_300
Original Image: P07177.jpg
GT: wrench
wrench Detection preview by Box_v11_medium_train_SIXray_OPIXray No objects detected Detection preview by DN_Medium_300_yolov8m_20t7_new wrench Detection preview by Segmentatation_v8_medium_train_250 wrench Detection preview by Segmentation_V11_large_300_train_300 wrench Detection preview by Segmentation_v8_large_300_train_300
Original Image: P07178.jpg
GT: pliers, wrench
pliers, wrench Detection preview by Box_v11_medium_train_SIXray_OPIXray pliers, scissor Detection preview by DN_Medium_300_yolov8m_20t7_new wrench Detection preview by Segmentatation_v8_medium_train_250 wrench Detection preview by Segmentation_V11_large_300_train_300 wrench Detection preview by Segmentation_v8_large_300_train_300
Original Image: P07179.jpg
GT: pliers, wrench
pliers, wrench Detection preview by Box_v11_medium_train_SIXray_OPIXray pliers Detection preview by DN_Medium_300_yolov8m_20t7_new wrench Detection preview by Segmentatation_v8_medium_train_250 wrench Detection preview by Segmentation_V11_large_300_train_300 wrench Detection preview by Segmentation_v8_large_300_train_300
Original Image: P07180.jpg
GT: pliers, wrench
pliers, wrench Detection preview by Box_v11_medium_train_SIXray_OPIXray pliers Detection preview by DN_Medium_300_yolov8m_20t7_new wrench Detection preview by Segmentatation_v8_medium_train_250 wrench Detection preview by Segmentation_V11_large_300_train_300 wrench Detection preview by Segmentation_v8_large_300_train_300
Original Image: P07181.jpg
GT: pliers, wrench
pliers, wrench Detection preview by Box_v11_medium_train_SIXray_OPIXray pliers Detection preview by DN_Medium_300_yolov8m_20t7_new wrench Detection preview by Segmentatation_v8_medium_train_250 wrench Detection preview by Segmentation_V11_large_300_train_300 wrench Detection preview by Segmentation_v8_large_300_train_300
Original Image: P07182.jpg
GT: wrench
wrench Detection preview by Box_v11_medium_train_SIXray_OPIXray No objects detected Detection preview by DN_Medium_300_yolov8m_20t7_new wrench Detection preview by Segmentatation_v8_medium_train_250 wrench Detection preview by Segmentation_V11_large_300_train_300 wrench Detection preview by Segmentation_v8_large_300_train_300
Original Image: P07183.jpg
GT: knife, pliers
knife, pliers Detection preview by Box_v11_medium_train_SIXray_OPIXray No objects detected Detection preview by DN_Medium_300_yolov8m_20t7_new knife Detection preview by Segmentatation_v8_medium_train_250 knife Detection preview by Segmentation_V11_large_300_train_300 knife Detection preview by Segmentation_v8_large_300_train_300
Original Image: P07184.jpg
GT: pliers
pliers Detection preview by Box_v11_medium_train_SIXray_OPIXray pliers Detection preview by DN_Medium_300_yolov8m_20t7_new wrench Detection preview by Segmentatation_v8_medium_train_250 No objects detected Detection preview by Segmentation_V11_large_300_train_300 No objects detected Detection preview by Segmentation_v8_large_300_train_300
Original Image: P07185.jpg
GT: pliers
pliers Detection preview by Box_v11_medium_train_SIXray_OPIXray No objects detected Detection preview by DN_Medium_300_yolov8m_20t7_new No objects detected Detection preview by Segmentatation_v8_medium_train_250 No objects detected Detection preview by Segmentation_V11_large_300_train_300 No objects detected Detection preview by Segmentation_v8_large_300_train_300
Original Image: P07186.jpg
GT: pliers
pliers Detection preview by Box_v11_medium_train_SIXray_OPIXray No objects detected Detection preview by DN_Medium_300_yolov8m_20t7_new No objects detected Detection preview by Segmentatation_v8_medium_train_250 No objects detected Detection preview by Segmentation_V11_large_300_train_300 No objects detected Detection preview by Segmentation_v8_large_300_train_300
Original Image: P07187.jpg
GT: pliers, wrench
pliers, wrench Detection preview by Box_v11_medium_train_SIXray_OPIXray No objects detected Detection preview by DN_Medium_300_yolov8m_20t7_new wrench Detection preview by Segmentatation_v8_medium_train_250 wrench Detection preview by Segmentation_V11_large_300_train_300 wrench Detection preview by Segmentation_v8_large_300_train_300
Original Image: P07188.jpg
GT: pliers
pliers Detection preview by Box_v11_medium_train_SIXray_OPIXray No objects detected Detection preview by DN_Medium_300_yolov8m_20t7_new No objects detected Detection preview by Segmentatation_v8_medium_train_250 No objects detected Detection preview by Segmentation_V11_large_300_train_300 No objects detected Detection preview by Segmentation_v8_large_300_train_300
Original Image: P07189.jpg
GT: pliers
pliers Detection preview by Box_v11_medium_train_SIXray_OPIXray No objects detected Detection preview by DN_Medium_300_yolov8m_20t7_new No objects detected Detection preview by Segmentatation_v8_medium_train_250 No objects detected Detection preview by Segmentation_V11_large_300_train_300 No objects detected Detection preview by Segmentation_v8_large_300_train_300
Original Image: P07190.jpg
GT: scissors
scissor Detection preview by Box_v11_medium_train_SIXray_OPIXray No objects detected Detection preview by DN_Medium_300_yolov8m_20t7_new scissor Detection preview by Segmentatation_v8_medium_train_250 scissor Detection preview by Segmentation_V11_large_300_train_300 scissor Detection preview by Segmentation_v8_large_300_train_300
Original Image: P07191.jpg
GT: pliers
pliers Detection preview by Box_v11_medium_train_SIXray_OPIXray pliers Detection preview by DN_Medium_300_yolov8m_20t7_new No objects detected Detection preview by Segmentatation_v8_medium_train_250 No objects detected Detection preview by Segmentation_V11_large_300_train_300 No objects detected Detection preview by Segmentation_v8_large_300_train_300
Original Image: P07192.jpg
GT: pliers
pliers Detection preview by Box_v11_medium_train_SIXray_OPIXray pliers Detection preview by DN_Medium_300_yolov8m_20t7_new No objects detected Detection preview by Segmentatation_v8_medium_train_250 No objects detected Detection preview by Segmentation_V11_large_300_train_300 No objects detected Detection preview by Segmentation_v8_large_300_train_300
Original Image: P07193.jpg
GT: pliers
pliers Detection preview by Box_v11_medium_train_SIXray_OPIXray No objects detected Detection preview by DN_Medium_300_yolov8m_20t7_new No objects detected Detection preview by Segmentatation_v8_medium_train_250 No objects detected Detection preview by Segmentation_V11_large_300_train_300 No objects detected Detection preview by Segmentation_v8_large_300_train_300
Original Image: P07194.jpg
GT: pliers
pliers Detection preview by Box_v11_medium_train_SIXray_OPIXray No objects detected Detection preview by DN_Medium_300_yolov8m_20t7_new No objects detected Detection preview by Segmentatation_v8_medium_train_250 No objects detected Detection preview by Segmentation_V11_large_300_train_300 No objects detected Detection preview by Segmentation_v8_large_300_train_300
Original Image: P07195.jpg
GT: pliers
pliers Detection preview by Box_v11_medium_train_SIXray_OPIXray No objects detected Detection preview by DN_Medium_300_yolov8m_20t7_new No objects detected Detection preview by Segmentatation_v8_medium_train_250 No objects detected Detection preview by Segmentation_V11_large_300_train_300 No objects detected Detection preview by Segmentation_v8_large_300_train_300
Original Image: P07196.jpg
GT: pliers
pliers Detection preview by Box_v11_medium_train_SIXray_OPIXray No objects detected Detection preview by DN_Medium_300_yolov8m_20t7_new No objects detected Detection preview by Segmentatation_v8_medium_train_250 No objects detected Detection preview by Segmentation_V11_large_300_train_300 No objects detected Detection preview by Segmentation_v8_large_300_train_300
Original Image: P07197.jpg
GT: pliers
pliers Detection preview by Box_v11_medium_train_SIXray_OPIXray No objects detected Detection preview by DN_Medium_300_yolov8m_20t7_new No objects detected Detection preview by Segmentatation_v8_medium_train_250 No objects detected Detection preview by Segmentation_V11_large_300_train_300 No objects detected Detection preview by Segmentation_v8_large_300_train_300
Original Image: P07198.jpg
GT: pliers, wrench
pliers, wrench Detection preview by Box_v11_medium_train_SIXray_OPIXray pliers Detection preview by DN_Medium_300_yolov8m_20t7_new wrench Detection preview by Segmentatation_v8_medium_train_250 wrench Detection preview by Segmentation_V11_large_300_train_300 wrench Detection preview by Segmentation_v8_large_300_train_300
Original Image: P07199.jpg
GT: pliers
pliers Detection preview by Box_v11_medium_train_SIXray_OPIXray No objects detected Detection preview by DN_Medium_300_yolov8m_20t7_new No objects detected Detection preview by Segmentatation_v8_medium_train_250 No objects detected Detection preview by Segmentation_V11_large_300_train_300 No objects detected Detection preview by Segmentation_v8_large_300_train_300
Original Image: P07200.jpg
GT: pliers
pliers Detection preview by Box_v11_medium_train_SIXray_OPIXray No objects detected Detection preview by DN_Medium_300_yolov8m_20t7_new No objects detected Detection preview by Segmentatation_v8_medium_train_250 No objects detected Detection preview by Segmentation_V11_large_300_train_300 No objects detected Detection preview by Segmentation_v8_large_300_train_300
Original Image: P07201.jpg
GT: pliers, wrench
pliers, wrench Detection preview by Box_v11_medium_train_SIXray_OPIXray No objects detected Detection preview by DN_Medium_300_yolov8m_20t7_new wrench Detection preview by Segmentatation_v8_medium_train_250 wrench Detection preview by Segmentation_V11_large_300_train_300 wrench Detection preview by Segmentation_v8_large_300_train_300
Original Image: P07202.jpg
GT: pliers, wrench
pliers, wrench Detection preview by Box_v11_medium_train_SIXray_OPIXray No objects detected Detection preview by DN_Medium_300_yolov8m_20t7_new wrench Detection preview by Segmentatation_v8_medium_train_250 wrench Detection preview by Segmentation_V11_large_300_train_300 wrench Detection preview by Segmentation_v8_large_300_train_300
Original Image: P07203.jpg
GT: pliers, wrench
pliers, wrench Detection preview by Box_v11_medium_train_SIXray_OPIXray No objects detected Detection preview by DN_Medium_300_yolov8m_20t7_new wrench Detection preview by Segmentatation_v8_medium_train_250 wrench Detection preview by Segmentation_V11_large_300_train_300 wrench Detection preview by Segmentation_v8_large_300_train_300
Original Image: P07204.jpg
GT: pliers
pliers Detection preview by Box_v11_medium_train_SIXray_OPIXray No objects detected Detection preview by DN_Medium_300_yolov8m_20t7_new wrench Detection preview by Segmentatation_v8_medium_train_250 wrench Detection preview by Segmentation_V11_large_300_train_300 wrench Detection preview by Segmentation_v8_large_300_train_300
Original Image: P07205.jpg
GT: pliers
pliers Detection preview by Box_v11_medium_train_SIXray_OPIXray No objects detected Detection preview by DN_Medium_300_yolov8m_20t7_new wrench Detection preview by Segmentatation_v8_medium_train_250 wrench Detection preview by Segmentation_V11_large_300_train_300 wrench Detection preview by Segmentation_v8_large_300_train_300
Original Image: P07206.jpg
GT: pliers
pliers Detection preview by Box_v11_medium_train_SIXray_OPIXray No objects detected Detection preview by DN_Medium_300_yolov8m_20t7_new wrench Detection preview by Segmentatation_v8_medium_train_250 wrench Detection preview by Segmentation_V11_large_300_train_300 wrench Detection preview by Segmentation_v8_large_300_train_300
Original Image: P07207.jpg
GT: pliers
pliers Detection preview by Box_v11_medium_train_SIXray_OPIXray No objects detected Detection preview by DN_Medium_300_yolov8m_20t7_new wrench Detection preview by Segmentatation_v8_medium_train_250 wrench Detection preview by Segmentation_V11_large_300_train_300 wrench Detection preview by Segmentation_v8_large_300_train_300
Original Image: P07208.jpg
GT: knife
knife Detection preview by Box_v11_medium_train_SIXray_OPIXray No objects detected Detection preview by DN_Medium_300_yolov8m_20t7_new knife Detection preview by Segmentatation_v8_medium_train_250 knife Detection preview by Segmentation_V11_large_300_train_300 knife Detection preview by Segmentation_v8_large_300_train_300
Original Image: P07209.jpg
GT: scissors
scissor Detection preview by Box_v11_medium_train_SIXray_OPIXray No objects detected Detection preview by DN_Medium_300_yolov8m_20t7_new scissor Detection preview by Segmentatation_v8_medium_train_250 scissor Detection preview by Segmentation_V11_large_300_train_300 scissor Detection preview by Segmentation_v8_large_300_train_300
Original Image: P07210.jpg
GT: scissors
scissor Detection preview by Box_v11_medium_train_SIXray_OPIXray No objects detected Detection preview by DN_Medium_300_yolov8m_20t7_new scissor Detection preview by Segmentatation_v8_medium_train_250 scissor Detection preview by Segmentation_V11_large_300_train_300 scissor Detection preview by Segmentation_v8_large_300_train_300
Original Image: P07211.jpg
GT: scissors
scissor Detection preview by Box_v11_medium_train_SIXray_OPIXray No objects detected Detection preview by DN_Medium_300_yolov8m_20t7_new scissor Detection preview by Segmentatation_v8_medium_train_250 scissor Detection preview by Segmentation_V11_large_300_train_300 scissor Detection preview by Segmentation_v8_large_300_train_300
Original Image: P07212.jpg
GT: scissors
scissor Detection preview by Box_v11_medium_train_SIXray_OPIXray No objects detected Detection preview by DN_Medium_300_yolov8m_20t7_new scissor Detection preview by Segmentatation_v8_medium_train_250 scissor Detection preview by Segmentation_V11_large_300_train_300 scissor Detection preview by Segmentation_v8_large_300_train_300
Original Image: P07213.jpg
GT: scissors
scissor Detection preview by Box_v11_medium_train_SIXray_OPIXray scissor Detection preview by DN_Medium_300_yolov8m_20t7_new scissor Detection preview by Segmentatation_v8_medium_train_250 scissor Detection preview by Segmentation_V11_large_300_train_300 scissor Detection preview by Segmentation_v8_large_300_train_300
Original Image: P07214.jpg
GT: scissors
scissor Detection preview by Box_v11_medium_train_SIXray_OPIXray No objects detected Detection preview by DN_Medium_300_yolov8m_20t7_new scissor Detection preview by Segmentatation_v8_medium_train_250 scissor Detection preview by Segmentation_V11_large_300_train_300 scissor Detection preview by Segmentation_v8_large_300_train_300
Original Image: P07215.jpg
GT: scissors
scissor Detection preview by Box_v11_medium_train_SIXray_OPIXray No objects detected Detection preview by DN_Medium_300_yolov8m_20t7_new scissor Detection preview by Segmentatation_v8_medium_train_250 scissor Detection preview by Segmentation_V11_large_300_train_300 scissor Detection preview by Segmentation_v8_large_300_train_300
Original Image: P07216.jpg
GT: scissors
scissor Detection preview by Box_v11_medium_train_SIXray_OPIXray No objects detected Detection preview by DN_Medium_300_yolov8m_20t7_new scissor Detection preview by Segmentatation_v8_medium_train_250 scissor Detection preview by Segmentation_V11_large_300_train_300 scissor Detection preview by Segmentation_v8_large_300_train_300
Original Image: P07217.jpg
GT: None
wrench Detection preview by Box_v11_medium_train_SIXray_OPIXray No objects detected Detection preview by DN_Medium_300_yolov8m_20t7_new wrench Detection preview by Segmentatation_v8_medium_train_250 wrench Detection preview by Segmentation_V11_large_300_train_300 wrench Detection preview by Segmentation_v8_large_300_train_300
Original Image: P07218.jpg
GT: None
wrench Detection preview by Box_v11_medium_train_SIXray_OPIXray No objects detected Detection preview by DN_Medium_300_yolov8m_20t7_new wrench Detection preview by Segmentatation_v8_medium_train_250 wrench Detection preview by Segmentation_V11_large_300_train_300 wrench Detection preview by Segmentation_v8_large_300_train_300
Original Image: P07219.jpg
GT: None
wrench Detection preview by Box_v11_medium_train_SIXray_OPIXray No objects detected Detection preview by DN_Medium_300_yolov8m_20t7_new wrench Detection preview by Segmentatation_v8_medium_train_250 wrench Detection preview by Segmentation_V11_large_300_train_300 wrench Detection preview by Segmentation_v8_large_300_train_300
Original Image: P07220.jpg
GT: pliers
pliers Detection preview by Box_v11_medium_train_SIXray_OPIXray No objects detected Detection preview by DN_Medium_300_yolov8m_20t7_new No objects detected Detection preview by Segmentatation_v8_medium_train_250 No objects detected Detection preview by Segmentation_V11_large_300_train_300 No objects detected Detection preview by Segmentation_v8_large_300_train_300
Original Image: P07221.jpg
GT: pliers
pliers Detection preview by Box_v11_medium_train_SIXray_OPIXray No objects detected Detection preview by DN_Medium_300_yolov8m_20t7_new No objects detected Detection preview by Segmentatation_v8_medium_train_250 No objects detected Detection preview by Segmentation_V11_large_300_train_300 No objects detected Detection preview by Segmentation_v8_large_300_train_300
Original Image: P07222.jpg
GT: wrench
wrench Detection preview by Box_v11_medium_train_SIXray_OPIXray No objects detected Detection preview by DN_Medium_300_yolov8m_20t7_new wrench Detection preview by Segmentatation_v8_medium_train_250 wrench Detection preview by Segmentation_V11_large_300_train_300 wrench Detection preview by Segmentation_v8_large_300_train_300
Original Image: P07223.jpg
GT: wrench
wrench Detection preview by Box_v11_medium_train_SIXray_OPIXray No objects detected Detection preview by DN_Medium_300_yolov8m_20t7_new wrench Detection preview by Segmentatation_v8_medium_train_250 wrench Detection preview by Segmentation_V11_large_300_train_300 wrench Detection preview by Segmentation_v8_large_300_train_300
Original Image: P07224.jpg
GT: pliers
pliers Detection preview by Box_v11_medium_train_SIXray_OPIXray No objects detected Detection preview by DN_Medium_300_yolov8m_20t7_new No objects detected Detection preview by Segmentatation_v8_medium_train_250 No objects detected Detection preview by Segmentation_V11_large_300_train_300 No objects detected Detection preview by Segmentation_v8_large_300_train_300
Original Image: P07225.jpg
GT: pliers
pliers Detection preview by Box_v11_medium_train_SIXray_OPIXray No objects detected Detection preview by DN_Medium_300_yolov8m_20t7_new No objects detected Detection preview by Segmentatation_v8_medium_train_250 No objects detected Detection preview by Segmentation_V11_large_300_train_300 No objects detected Detection preview by Segmentation_v8_large_300_train_300
Original Image: P07226.jpg
GT: pliers
pliers Detection preview by Box_v11_medium_train_SIXray_OPIXray No objects detected Detection preview by DN_Medium_300_yolov8m_20t7_new No objects detected Detection preview by Segmentatation_v8_medium_train_250 No objects detected Detection preview by Segmentation_V11_large_300_train_300 No objects detected Detection preview by Segmentation_v8_large_300_train_300
Original Image: P07227.jpg
GT: pliers, wrench
pliers, wrench Detection preview by Box_v11_medium_train_SIXray_OPIXray pliers Detection preview by DN_Medium_300_yolov8m_20t7_new wrench Detection preview by Segmentatation_v8_medium_train_250 wrench Detection preview by Segmentation_V11_large_300_train_300 wrench Detection preview by Segmentation_v8_large_300_train_300
Original Image: P07228.jpg
GT: pliers
pliers Detection preview by Box_v11_medium_train_SIXray_OPIXray No objects detected Detection preview by DN_Medium_300_yolov8m_20t7_new No objects detected Detection preview by Segmentatation_v8_medium_train_250 No objects detected Detection preview by Segmentation_V11_large_300_train_300 No objects detected Detection preview by Segmentation_v8_large_300_train_300
Original Image: P07229.jpg
GT: pliers
pliers Detection preview by Box_v11_medium_train_SIXray_OPIXray No objects detected Detection preview by DN_Medium_300_yolov8m_20t7_new No objects detected Detection preview by Segmentatation_v8_medium_train_250 No objects detected Detection preview by Segmentation_V11_large_300_train_300 No objects detected Detection preview by Segmentation_v8_large_300_train_300
Original Image: P07230.jpg
GT: pliers
pliers Detection preview by Box_v11_medium_train_SIXray_OPIXray No objects detected Detection preview by DN_Medium_300_yolov8m_20t7_new No objects detected Detection preview by Segmentatation_v8_medium_train_250 No objects detected Detection preview by Segmentation_V11_large_300_train_300 No objects detected Detection preview by Segmentation_v8_large_300_train_300
Original Image: P07231.jpg
GT: scissors
scissor Detection preview by Box_v11_medium_train_SIXray_OPIXray No objects detected Detection preview by DN_Medium_300_yolov8m_20t7_new scissor Detection preview by Segmentatation_v8_medium_train_250 scissor Detection preview by Segmentation_V11_large_300_train_300 scissor Detection preview by Segmentation_v8_large_300_train_300
Original Image: P07232.jpg
GT: scissors
scissor Detection preview by Box_v11_medium_train_SIXray_OPIXray scissor Detection preview by DN_Medium_300_yolov8m_20t7_new scissor Detection preview by Segmentatation_v8_medium_train_250 scissor Detection preview by Segmentation_V11_large_300_train_300 scissor Detection preview by Segmentation_v8_large_300_train_300
Original Image: P07233.jpg
GT: scissors
scissor Detection preview by Box_v11_medium_train_SIXray_OPIXray scissor Detection preview by DN_Medium_300_yolov8m_20t7_new scissor Detection preview by Segmentatation_v8_medium_train_250 scissor Detection preview by Segmentation_V11_large_300_train_300 scissor Detection preview by Segmentation_v8_large_300_train_300
Original Image: P07234.jpg
GT: pliers
pliers Detection preview by Box_v11_medium_train_SIXray_OPIXray No objects detected Detection preview by DN_Medium_300_yolov8m_20t7_new No objects detected Detection preview by Segmentatation_v8_medium_train_250 No objects detected Detection preview by Segmentation_V11_large_300_train_300 No objects detected Detection preview by Segmentation_v8_large_300_train_300
Original Image: P07235.jpg
GT: pliers
pliers Detection preview by Box_v11_medium_train_SIXray_OPIXray No objects detected Detection preview by DN_Medium_300_yolov8m_20t7_new No objects detected Detection preview by Segmentatation_v8_medium_train_250 No objects detected Detection preview by Segmentation_V11_large_300_train_300 No objects detected Detection preview by Segmentation_v8_large_300_train_300
Original Image: P07236.jpg
GT: pliers
pliers Detection preview by Box_v11_medium_train_SIXray_OPIXray pliers Detection preview by DN_Medium_300_yolov8m_20t7_new No objects detected Detection preview by Segmentatation_v8_medium_train_250 No objects detected Detection preview by Segmentation_V11_large_300_train_300 No objects detected Detection preview by Segmentation_v8_large_300_train_300
Original Image: P07237.jpg
GT: scissors
scissor Detection preview by Box_v11_medium_train_SIXray_OPIXray No objects detected Detection preview by DN_Medium_300_yolov8m_20t7_new scissor Detection preview by Segmentatation_v8_medium_train_250 scissor Detection preview by Segmentation_V11_large_300_train_300 scissor Detection preview by Segmentation_v8_large_300_train_300
Original Image: P07238.jpg
GT: scissors
scissor Detection preview by Box_v11_medium_train_SIXray_OPIXray No objects detected Detection preview by DN_Medium_300_yolov8m_20t7_new scissor Detection preview by Segmentatation_v8_medium_train_250 scissor Detection preview by Segmentation_V11_large_300_train_300 scissor Detection preview by Segmentation_v8_large_300_train_300
Original Image: P07239.jpg
GT: pliers
pliers Detection preview by Box_v11_medium_train_SIXray_OPIXray pliers Detection preview by DN_Medium_300_yolov8m_20t7_new No objects detected Detection preview by Segmentatation_v8_medium_train_250 No objects detected Detection preview by Segmentation_V11_large_300_train_300 No objects detected Detection preview by Segmentation_v8_large_300_train_300
Original Image: P07240.jpg
GT: pliers
pliers Detection preview by Box_v11_medium_train_SIXray_OPIXray pliers Detection preview by DN_Medium_300_yolov8m_20t7_new No objects detected Detection preview by Segmentatation_v8_medium_train_250 No objects detected Detection preview by Segmentation_V11_large_300_train_300 No objects detected Detection preview by Segmentation_v8_large_300_train_300
Original Image: P07241.jpg
GT: pliers
pliers Detection preview by Box_v11_medium_train_SIXray_OPIXray pliers Detection preview by DN_Medium_300_yolov8m_20t7_new No objects detected Detection preview by Segmentatation_v8_medium_train_250 No objects detected Detection preview by Segmentation_V11_large_300_train_300 No objects detected Detection preview by Segmentation_v8_large_300_train_300
Original Image: P07242.jpg
GT: pliers
pliers Detection preview by Box_v11_medium_train_SIXray_OPIXray pliers Detection preview by DN_Medium_300_yolov8m_20t7_new No objects detected Detection preview by Segmentatation_v8_medium_train_250 No objects detected Detection preview by Segmentation_V11_large_300_train_300 No objects detected Detection preview by Segmentation_v8_large_300_train_300
Original Image: P07243.jpg
GT: scissors
scissor Detection preview by Box_v11_medium_train_SIXray_OPIXray No objects detected Detection preview by DN_Medium_300_yolov8m_20t7_new scissor Detection preview by Segmentatation_v8_medium_train_250 scissor Detection preview by Segmentation_V11_large_300_train_300 scissor Detection preview by Segmentation_v8_large_300_train_300
Original Image: P07244.jpg
GT: pliers, wrench
pliers, wrench Detection preview by Box_v11_medium_train_SIXray_OPIXray No objects detected Detection preview by DN_Medium_300_yolov8m_20t7_new wrench Detection preview by Segmentatation_v8_medium_train_250 wrench Detection preview by Segmentation_V11_large_300_train_300 wrench Detection preview by Segmentation_v8_large_300_train_300
Original Image: P07245.jpg
GT: pliers, wrench
pliers, wrench Detection preview by Box_v11_medium_train_SIXray_OPIXray No objects detected Detection preview by DN_Medium_300_yolov8m_20t7_new wrench Detection preview by Segmentatation_v8_medium_train_250 wrench Detection preview by Segmentation_V11_large_300_train_300 wrench Detection preview by Segmentation_v8_large_300_train_300
Original Image: P07246.jpg
GT: pliers, wrench
pliers, wrench Detection preview by Box_v11_medium_train_SIXray_OPIXray No objects detected Detection preview by DN_Medium_300_yolov8m_20t7_new wrench Detection preview by Segmentatation_v8_medium_train_250 wrench Detection preview by Segmentation_V11_large_300_train_300 wrench Detection preview by Segmentation_v8_large_300_train_300
Original Image: P07247.jpg
GT: scissors
scissor Detection preview by Box_v11_medium_train_SIXray_OPIXray scissor Detection preview by DN_Medium_300_yolov8m_20t7_new scissor Detection preview by Segmentatation_v8_medium_train_250 scissor Detection preview by Segmentation_V11_large_300_train_300 scissor Detection preview by Segmentation_v8_large_300_train_300
Original Image: P07248.jpg
GT: scissors
scissor Detection preview by Box_v11_medium_train_SIXray_OPIXray scissor Detection preview by DN_Medium_300_yolov8m_20t7_new scissor Detection preview by Segmentatation_v8_medium_train_250 scissor Detection preview by Segmentation_V11_large_300_train_300 scissor Detection preview by Segmentation_v8_large_300_train_300
Original Image: P07249.jpg
GT: scissors
scissor Detection preview by Box_v11_medium_train_SIXray_OPIXray scissor Detection preview by DN_Medium_300_yolov8m_20t7_new scissor Detection preview by Segmentatation_v8_medium_train_250 scissor Detection preview by Segmentation_V11_large_300_train_300 scissor Detection preview by Segmentation_v8_large_300_train_300
Original Image: P07250.jpg
GT: knife
knife Detection preview by Box_v11_medium_train_SIXray_OPIXray No objects detected Detection preview by DN_Medium_300_yolov8m_20t7_new knife Detection preview by Segmentatation_v8_medium_train_250 knife Detection preview by Segmentation_V11_large_300_train_300 knife Detection preview by Segmentation_v8_large_300_train_300
Original Image: P07251.jpg
GT: knife
knife Detection preview by Box_v11_medium_train_SIXray_OPIXray No objects detected Detection preview by DN_Medium_300_yolov8m_20t7_new knife Detection preview by Segmentatation_v8_medium_train_250 knife Detection preview by Segmentation_V11_large_300_train_300 knife Detection preview by Segmentation_v8_large_300_train_300
Original Image: P07252.jpg
GT: knife
knife Detection preview by Box_v11_medium_train_SIXray_OPIXray No objects detected Detection preview by DN_Medium_300_yolov8m_20t7_new knife Detection preview by Segmentatation_v8_medium_train_250 knife Detection preview by Segmentation_V11_large_300_train_300 knife Detection preview by Segmentation_v8_large_300_train_300
Original Image: P07253.jpg
GT: knife
knife Detection preview by Box_v11_medium_train_SIXray_OPIXray No objects detected Detection preview by DN_Medium_300_yolov8m_20t7_new knife Detection preview by Segmentatation_v8_medium_train_250 knife Detection preview by Segmentation_V11_large_300_train_300 knife Detection preview by Segmentation_v8_large_300_train_300
Original Image: P07254.jpg
GT: knife
knife Detection preview by Box_v11_medium_train_SIXray_OPIXray No objects detected Detection preview by DN_Medium_300_yolov8m_20t7_new knife Detection preview by Segmentatation_v8_medium_train_250 knife Detection preview by Segmentation_V11_large_300_train_300 knife Detection preview by Segmentation_v8_large_300_train_300
Original Image: P07255.jpg
GT: knife
knife Detection preview by Box_v11_medium_train_SIXray_OPIXray No objects detected Detection preview by DN_Medium_300_yolov8m_20t7_new knife Detection preview by Segmentatation_v8_medium_train_250 knife Detection preview by Segmentation_V11_large_300_train_300 knife Detection preview by Segmentation_v8_large_300_train_300
Original Image: P07256.jpg
GT: knife
knife Detection preview by Box_v11_medium_train_SIXray_OPIXray No objects detected Detection preview by DN_Medium_300_yolov8m_20t7_new knife Detection preview by Segmentatation_v8_medium_train_250 knife Detection preview by Segmentation_V11_large_300_train_300 knife Detection preview by Segmentation_v8_large_300_train_300
Original Image: P07257.jpg
GT: pliers
pliers Detection preview by Box_v11_medium_train_SIXray_OPIXray No objects detected Detection preview by DN_Medium_300_yolov8m_20t7_new No objects detected Detection preview by Segmentatation_v8_medium_train_250 No objects detected Detection preview by Segmentation_V11_large_300_train_300 No objects detected Detection preview by Segmentation_v8_large_300_train_300
Original Image: P07258.jpg
GT: pliers
pliers Detection preview by Box_v11_medium_train_SIXray_OPIXray No objects detected Detection preview by DN_Medium_300_yolov8m_20t7_new No objects detected Detection preview by Segmentatation_v8_medium_train_250 No objects detected Detection preview by Segmentation_V11_large_300_train_300 No objects detected Detection preview by Segmentation_v8_large_300_train_300
Original Image: P07259.jpg
GT: pliers
pliers Detection preview by Box_v11_medium_train_SIXray_OPIXray No objects detected Detection preview by DN_Medium_300_yolov8m_20t7_new No objects detected Detection preview by Segmentatation_v8_medium_train_250 No objects detected Detection preview by Segmentation_V11_large_300_train_300 No objects detected Detection preview by Segmentation_v8_large_300_train_300
Original Image: P07260.jpg
GT: pliers
pliers Detection preview by Box_v11_medium_train_SIXray_OPIXray No objects detected Detection preview by DN_Medium_300_yolov8m_20t7_new No objects detected Detection preview by Segmentatation_v8_medium_train_250 No objects detected Detection preview by Segmentation_V11_large_300_train_300 No objects detected Detection preview by Segmentation_v8_large_300_train_300
Original Image: P07261.jpg
GT: pliers
pliers Detection preview by Box_v11_medium_train_SIXray_OPIXray No objects detected Detection preview by DN_Medium_300_yolov8m_20t7_new No objects detected Detection preview by Segmentatation_v8_medium_train_250 No objects detected Detection preview by Segmentation_V11_large_300_train_300 No objects detected Detection preview by Segmentation_v8_large_300_train_300
Original Image: P07262.jpg
GT: pliers, wrench
pliers, wrench Detection preview by Box_v11_medium_train_SIXray_OPIXray No objects detected Detection preview by DN_Medium_300_yolov8m_20t7_new wrench Detection preview by Segmentatation_v8_medium_train_250 wrench Detection preview by Segmentation_V11_large_300_train_300 wrench Detection preview by Segmentation_v8_large_300_train_300
Original Image: P07263.jpg
GT: pliers, wrench
pliers, wrench Detection preview by Box_v11_medium_train_SIXray_OPIXray No objects detected Detection preview by DN_Medium_300_yolov8m_20t7_new wrench Detection preview by Segmentatation_v8_medium_train_250 wrench Detection preview by Segmentation_V11_large_300_train_300 wrench Detection preview by Segmentation_v8_large_300_train_300
Original Image: P07264.jpg
GT: scissors
scissor Detection preview by Box_v11_medium_train_SIXray_OPIXray scissor Detection preview by DN_Medium_300_yolov8m_20t7_new scissor, wrench Detection preview by Segmentatation_v8_medium_train_250 scissor Detection preview by Segmentation_V11_large_300_train_300 scissor Detection preview by Segmentation_v8_large_300_train_300
Original Image: P07265.jpg
GT: scissors
scissor Detection preview by Box_v11_medium_train_SIXray_OPIXray No objects detected Detection preview by DN_Medium_300_yolov8m_20t7_new scissor Detection preview by Segmentatation_v8_medium_train_250 scissor Detection preview by Segmentation_V11_large_300_train_300 scissor Detection preview by Segmentation_v8_large_300_train_300
Original Image: P07266.jpg
GT: scissors
scissor Detection preview by Box_v11_medium_train_SIXray_OPIXray No objects detected Detection preview by DN_Medium_300_yolov8m_20t7_new scissor, wrench Detection preview by Segmentatation_v8_medium_train_250 scissor Detection preview by Segmentation_V11_large_300_train_300 scissor Detection preview by Segmentation_v8_large_300_train_300
Original Image: P07267.jpg
GT: pliers
pliers Detection preview by Box_v11_medium_train_SIXray_OPIXray No objects detected Detection preview by DN_Medium_300_yolov8m_20t7_new No objects detected Detection preview by Segmentatation_v8_medium_train_250 No objects detected Detection preview by Segmentation_V11_large_300_train_300 No objects detected Detection preview by Segmentation_v8_large_300_train_300
Original Image: P07268.jpg
GT: pliers
pliers Detection preview by Box_v11_medium_train_SIXray_OPIXray No objects detected Detection preview by DN_Medium_300_yolov8m_20t7_new No objects detected Detection preview by Segmentatation_v8_medium_train_250 No objects detected Detection preview by Segmentation_V11_large_300_train_300 No objects detected Detection preview by Segmentation_v8_large_300_train_300
Original Image: P07269.jpg
GT: pliers
pliers Detection preview by Box_v11_medium_train_SIXray_OPIXray No objects detected Detection preview by DN_Medium_300_yolov8m_20t7_new No objects detected Detection preview by Segmentatation_v8_medium_train_250 No objects detected Detection preview by Segmentation_V11_large_300_train_300 No objects detected Detection preview by Segmentation_v8_large_300_train_300
Original Image: P07270.jpg
GT: pliers
pliers Detection preview by Box_v11_medium_train_SIXray_OPIXray No objects detected Detection preview by DN_Medium_300_yolov8m_20t7_new No objects detected Detection preview by Segmentatation_v8_medium_train_250 No objects detected Detection preview by Segmentation_V11_large_300_train_300 No objects detected Detection preview by Segmentation_v8_large_300_train_300
Original Image: P07271.jpg
GT: pliers
pliers Detection preview by Box_v11_medium_train_SIXray_OPIXray No objects detected Detection preview by DN_Medium_300_yolov8m_20t7_new No objects detected Detection preview by Segmentatation_v8_medium_train_250 No objects detected Detection preview by Segmentation_V11_large_300_train_300 No objects detected Detection preview by Segmentation_v8_large_300_train_300
Original Image: P07272.jpg
GT: pliers
pliers Detection preview by Box_v11_medium_train_SIXray_OPIXray pliers Detection preview by DN_Medium_300_yolov8m_20t7_new No objects detected Detection preview by Segmentatation_v8_medium_train_250 No objects detected Detection preview by Segmentation_V11_large_300_train_300 No objects detected Detection preview by Segmentation_v8_large_300_train_300
Original Image: P07273.jpg
GT: pliers
pliers Detection preview by Box_v11_medium_train_SIXray_OPIXray pliers Detection preview by DN_Medium_300_yolov8m_20t7_new No objects detected Detection preview by Segmentatation_v8_medium_train_250 No objects detected Detection preview by Segmentation_V11_large_300_train_300 No objects detected Detection preview by Segmentation_v8_large_300_train_300
Original Image: P07274.jpg
GT: pliers, scissors
pliers, scissor Detection preview by Box_v11_medium_train_SIXray_OPIXray No objects detected Detection preview by DN_Medium_300_yolov8m_20t7_new scissor Detection preview by Segmentatation_v8_medium_train_250 scissor Detection preview by Segmentation_V11_large_300_train_300 scissor Detection preview by Segmentation_v8_large_300_train_300
Original Image: P07275.jpg
GT: pliers, scissors
pliers, scissor Detection preview by Box_v11_medium_train_SIXray_OPIXray No objects detected Detection preview by DN_Medium_300_yolov8m_20t7_new scissor Detection preview by Segmentatation_v8_medium_train_250 scissor Detection preview by Segmentation_V11_large_300_train_300 scissor Detection preview by Segmentation_v8_large_300_train_300
Original Image: P07276.jpg
GT: pliers, scissors
pliers, scissor Detection preview by Box_v11_medium_train_SIXray_OPIXray No objects detected Detection preview by DN_Medium_300_yolov8m_20t7_new scissor Detection preview by Segmentatation_v8_medium_train_250 scissor Detection preview by Segmentation_V11_large_300_train_300 scissor Detection preview by Segmentation_v8_large_300_train_300
Original Image: P07277.jpg
GT: pliers
pliers Detection preview by Box_v11_medium_train_SIXray_OPIXray No objects detected Detection preview by DN_Medium_300_yolov8m_20t7_new No objects detected Detection preview by Segmentatation_v8_medium_train_250 No objects detected Detection preview by Segmentation_V11_large_300_train_300 No objects detected Detection preview by Segmentation_v8_large_300_train_300
Original Image: P07278.jpg
GT: pliers
pliers Detection preview by Box_v11_medium_train_SIXray_OPIXray No objects detected Detection preview by DN_Medium_300_yolov8m_20t7_new No objects detected Detection preview by Segmentatation_v8_medium_train_250 No objects detected Detection preview by Segmentation_V11_large_300_train_300 No objects detected Detection preview by Segmentation_v8_large_300_train_300
Original Image: P07279.jpg
GT: pliers
pliers Detection preview by Box_v11_medium_train_SIXray_OPIXray No objects detected Detection preview by DN_Medium_300_yolov8m_20t7_new scissor Detection preview by Segmentatation_v8_medium_train_250 No objects detected Detection preview by Segmentation_V11_large_300_train_300 No objects detected Detection preview by Segmentation_v8_large_300_train_300
Original Image: P07280.jpg
GT: scissors
scissor Detection preview by Box_v11_medium_train_SIXray_OPIXray No objects detected Detection preview by DN_Medium_300_yolov8m_20t7_new scissor Detection preview by Segmentatation_v8_medium_train_250 scissor Detection preview by Segmentation_V11_large_300_train_300 scissor Detection preview by Segmentation_v8_large_300_train_300
Original Image: P07281.jpg
GT: scissors
scissor Detection preview by Box_v11_medium_train_SIXray_OPIXray No objects detected Detection preview by DN_Medium_300_yolov8m_20t7_new scissor Detection preview by Segmentatation_v8_medium_train_250 scissor Detection preview by Segmentation_V11_large_300_train_300 scissor Detection preview by Segmentation_v8_large_300_train_300
Original Image: P07282.jpg
GT: scissors
scissor Detection preview by Box_v11_medium_train_SIXray_OPIXray scissor Detection preview by DN_Medium_300_yolov8m_20t7_new scissor Detection preview by Segmentatation_v8_medium_train_250 scissor Detection preview by Segmentation_V11_large_300_train_300 scissor Detection preview by Segmentation_v8_large_300_train_300
Original Image: P07283.jpg
GT: scissors
scissor Detection preview by Box_v11_medium_train_SIXray_OPIXray scissor Detection preview by DN_Medium_300_yolov8m_20t7_new scissor Detection preview by Segmentatation_v8_medium_train_250 scissor Detection preview by Segmentation_V11_large_300_train_300 scissor Detection preview by Segmentation_v8_large_300_train_300
Original Image: P07284.jpg
GT: wrench
wrench Detection preview by Box_v11_medium_train_SIXray_OPIXray No objects detected Detection preview by DN_Medium_300_yolov8m_20t7_new wrench Detection preview by Segmentatation_v8_medium_train_250 wrench Detection preview by Segmentation_V11_large_300_train_300 wrench Detection preview by Segmentation_v8_large_300_train_300
Original Image: P07285.jpg
GT: pliers
pliers Detection preview by Box_v11_medium_train_SIXray_OPIXray No objects detected Detection preview by DN_Medium_300_yolov8m_20t7_new No objects detected Detection preview by Segmentatation_v8_medium_train_250 No objects detected Detection preview by Segmentation_V11_large_300_train_300 No objects detected Detection preview by Segmentation_v8_large_300_train_300
Original Image: P07286.jpg
GT: pliers
pliers Detection preview by Box_v11_medium_train_SIXray_OPIXray No objects detected Detection preview by DN_Medium_300_yolov8m_20t7_new No objects detected Detection preview by Segmentatation_v8_medium_train_250 No objects detected Detection preview by Segmentation_V11_large_300_train_300 No objects detected Detection preview by Segmentation_v8_large_300_train_300
Original Image: P07287.jpg
GT: pliers
pliers Detection preview by Box_v11_medium_train_SIXray_OPIXray No objects detected Detection preview by DN_Medium_300_yolov8m_20t7_new No objects detected Detection preview by Segmentatation_v8_medium_train_250 No objects detected Detection preview by Segmentation_V11_large_300_train_300 No objects detected Detection preview by Segmentation_v8_large_300_train_300
Original Image: P07288.jpg
GT: pliers
pliers Detection preview by Box_v11_medium_train_SIXray_OPIXray No objects detected Detection preview by DN_Medium_300_yolov8m_20t7_new No objects detected Detection preview by Segmentatation_v8_medium_train_250 No objects detected Detection preview by Segmentation_V11_large_300_train_300 No objects detected Detection preview by Segmentation_v8_large_300_train_300
Original Image: P07289.jpg
GT: pliers
pliers Detection preview by Box_v11_medium_train_SIXray_OPIXray No objects detected Detection preview by DN_Medium_300_yolov8m_20t7_new No objects detected Detection preview by Segmentatation_v8_medium_train_250 No objects detected Detection preview by Segmentation_V11_large_300_train_300 No objects detected Detection preview by Segmentation_v8_large_300_train_300
Original Image: P07290.jpg
GT: pliers
pliers Detection preview by Box_v11_medium_train_SIXray_OPIXray No objects detected Detection preview by DN_Medium_300_yolov8m_20t7_new No objects detected Detection preview by Segmentatation_v8_medium_train_250 No objects detected Detection preview by Segmentation_V11_large_300_train_300 No objects detected Detection preview by Segmentation_v8_large_300_train_300
Original Image: P07291.jpg
GT: pliers
pliers Detection preview by Box_v11_medium_train_SIXray_OPIXray No objects detected Detection preview by DN_Medium_300_yolov8m_20t7_new No objects detected Detection preview by Segmentatation_v8_medium_train_250 No objects detected Detection preview by Segmentation_V11_large_300_train_300 No objects detected Detection preview by Segmentation_v8_large_300_train_300
Original Image: P07292.jpg
GT: pliers
pliers Detection preview by Box_v11_medium_train_SIXray_OPIXray No objects detected Detection preview by DN_Medium_300_yolov8m_20t7_new No objects detected Detection preview by Segmentatation_v8_medium_train_250 No objects detected Detection preview by Segmentation_V11_large_300_train_300 No objects detected Detection preview by Segmentation_v8_large_300_train_300
Original Image: P07293.jpg
GT: pliers
pliers Detection preview by Box_v11_medium_train_SIXray_OPIXray No objects detected Detection preview by DN_Medium_300_yolov8m_20t7_new No objects detected Detection preview by Segmentatation_v8_medium_train_250 No objects detected Detection preview by Segmentation_V11_large_300_train_300 No objects detected Detection preview by Segmentation_v8_large_300_train_300
Original Image: P07294.jpg
GT: pliers
pliers Detection preview by Box_v11_medium_train_SIXray_OPIXray No objects detected Detection preview by DN_Medium_300_yolov8m_20t7_new No objects detected Detection preview by Segmentatation_v8_medium_train_250 No objects detected Detection preview by Segmentation_V11_large_300_train_300 No objects detected Detection preview by Segmentation_v8_large_300_train_300
Original Image: P07295.jpg
GT: pliers
pliers Detection preview by Box_v11_medium_train_SIXray_OPIXray No objects detected Detection preview by DN_Medium_300_yolov8m_20t7_new No objects detected Detection preview by Segmentatation_v8_medium_train_250 No objects detected Detection preview by Segmentation_V11_large_300_train_300 No objects detected Detection preview by Segmentation_v8_large_300_train_300
Original Image: P07296.jpg
GT: pliers
pliers Detection preview by Box_v11_medium_train_SIXray_OPIXray No objects detected Detection preview by DN_Medium_300_yolov8m_20t7_new No objects detected Detection preview by Segmentatation_v8_medium_train_250 No objects detected Detection preview by Segmentation_V11_large_300_train_300 No objects detected Detection preview by Segmentation_v8_large_300_train_300
Original Image: P07297.jpg
GT: pliers, wrench
pliers, wrench Detection preview by Box_v11_medium_train_SIXray_OPIXray No objects detected Detection preview by DN_Medium_300_yolov8m_20t7_new wrench Detection preview by Segmentatation_v8_medium_train_250 wrench Detection preview by Segmentation_V11_large_300_train_300 wrench Detection preview by Segmentation_v8_large_300_train_300
Original Image: P07298.jpg
GT: pliers, wrench
pliers, wrench Detection preview by Box_v11_medium_train_SIXray_OPIXray No objects detected Detection preview by DN_Medium_300_yolov8m_20t7_new wrench Detection preview by Segmentatation_v8_medium_train_250 wrench Detection preview by Segmentation_V11_large_300_train_300 wrench Detection preview by Segmentation_v8_large_300_train_300
Original Image: P07299.jpg
GT: pliers, wrench
pliers, wrench Detection preview by Box_v11_medium_train_SIXray_OPIXray No objects detected Detection preview by DN_Medium_300_yolov8m_20t7_new wrench Detection preview by Segmentatation_v8_medium_train_250 wrench Detection preview by Segmentation_V11_large_300_train_300 wrench Detection preview by Segmentation_v8_large_300_train_300
Original Image: P07300.jpg
GT: scissors
scissor Detection preview by Box_v11_medium_train_SIXray_OPIXray scissor Detection preview by DN_Medium_300_yolov8m_20t7_new scissor Detection preview by Segmentatation_v8_medium_train_250 scissor Detection preview by Segmentation_V11_large_300_train_300 scissor Detection preview by Segmentation_v8_large_300_train_300
Original Image: P07301.jpg
GT: scissors
scissor Detection preview by Box_v11_medium_train_SIXray_OPIXray scissor Detection preview by DN_Medium_300_yolov8m_20t7_new scissor Detection preview by Segmentatation_v8_medium_train_250 scissor Detection preview by Segmentation_V11_large_300_train_300 scissor Detection preview by Segmentation_v8_large_300_train_300
Original Image: P07302.jpg
GT: pliers, wrench
pliers, wrench Detection preview by Box_v11_medium_train_SIXray_OPIXray No objects detected Detection preview by DN_Medium_300_yolov8m_20t7_new wrench Detection preview by Segmentatation_v8_medium_train_250 wrench Detection preview by Segmentation_V11_large_300_train_300 wrench Detection preview by Segmentation_v8_large_300_train_300
Original Image: P07303.jpg
GT: pliers
pliers Detection preview by Box_v11_medium_train_SIXray_OPIXray No objects detected Detection preview by DN_Medium_300_yolov8m_20t7_new No objects detected Detection preview by Segmentatation_v8_medium_train_250 No objects detected Detection preview by Segmentation_V11_large_300_train_300 No objects detected Detection preview by Segmentation_v8_large_300_train_300
Original Image: P07304.jpg
GT: pliers
pliers Detection preview by Box_v11_medium_train_SIXray_OPIXray pliers Detection preview by DN_Medium_300_yolov8m_20t7_new No objects detected Detection preview by Segmentatation_v8_medium_train_250 No objects detected Detection preview by Segmentation_V11_large_300_train_300 No objects detected Detection preview by Segmentation_v8_large_300_train_300
Original Image: P07305.jpg
GT: pliers
pliers Detection preview by Box_v11_medium_train_SIXray_OPIXray No objects detected Detection preview by DN_Medium_300_yolov8m_20t7_new No objects detected Detection preview by Segmentatation_v8_medium_train_250 No objects detected Detection preview by Segmentation_V11_large_300_train_300 No objects detected Detection preview by Segmentation_v8_large_300_train_300
Original Image: P07306.jpg
GT: pliers
pliers Detection preview by Box_v11_medium_train_SIXray_OPIXray No objects detected Detection preview by DN_Medium_300_yolov8m_20t7_new No objects detected Detection preview by Segmentatation_v8_medium_train_250 No objects detected Detection preview by Segmentation_V11_large_300_train_300 No objects detected Detection preview by Segmentation_v8_large_300_train_300
Original Image: P07307.jpg
GT: pliers
pliers Detection preview by Box_v11_medium_train_SIXray_OPIXray No objects detected Detection preview by DN_Medium_300_yolov8m_20t7_new No objects detected Detection preview by Segmentatation_v8_medium_train_250 No objects detected Detection preview by Segmentation_V11_large_300_train_300 No objects detected Detection preview by Segmentation_v8_large_300_train_300
Original Image: P07308.jpg
GT: scissors
scissor Detection preview by Box_v11_medium_train_SIXray_OPIXray No objects detected Detection preview by DN_Medium_300_yolov8m_20t7_new scissor Detection preview by Segmentatation_v8_medium_train_250 scissor Detection preview by Segmentation_V11_large_300_train_300 scissor Detection preview by Segmentation_v8_large_300_train_300
Original Image: P07309.jpg
GT: pliers
pliers Detection preview by Box_v11_medium_train_SIXray_OPIXray No objects detected Detection preview by DN_Medium_300_yolov8m_20t7_new No objects detected Detection preview by Segmentatation_v8_medium_train_250 No objects detected Detection preview by Segmentation_V11_large_300_train_300 No objects detected Detection preview by Segmentation_v8_large_300_train_300
Original Image: P07310.jpg
GT: pliers
pliers Detection preview by Box_v11_medium_train_SIXray_OPIXray No objects detected Detection preview by DN_Medium_300_yolov8m_20t7_new No objects detected Detection preview by Segmentatation_v8_medium_train_250 No objects detected Detection preview by Segmentation_V11_large_300_train_300 No objects detected Detection preview by Segmentation_v8_large_300_train_300
Original Image: P07311.jpg
GT: pliers
pliers Detection preview by Box_v11_medium_train_SIXray_OPIXray No objects detected Detection preview by DN_Medium_300_yolov8m_20t7_new No objects detected Detection preview by Segmentatation_v8_medium_train_250 No objects detected Detection preview by Segmentation_V11_large_300_train_300 No objects detected Detection preview by Segmentation_v8_large_300_train_300
Original Image: P07312.jpg
GT: pliers
pliers Detection preview by Box_v11_medium_train_SIXray_OPIXray No objects detected Detection preview by DN_Medium_300_yolov8m_20t7_new No objects detected Detection preview by Segmentatation_v8_medium_train_250 No objects detected Detection preview by Segmentation_V11_large_300_train_300 No objects detected Detection preview by Segmentation_v8_large_300_train_300
Original Image: P07313.jpg
GT: scissors
scissor Detection preview by Box_v11_medium_train_SIXray_OPIXray No objects detected Detection preview by DN_Medium_300_yolov8m_20t7_new scissor Detection preview by Segmentatation_v8_medium_train_250 scissor Detection preview by Segmentation_V11_large_300_train_300 scissor Detection preview by Segmentation_v8_large_300_train_300
Original Image: P07314.jpg
GT: pliers
pliers Detection preview by Box_v11_medium_train_SIXray_OPIXray No objects detected Detection preview by DN_Medium_300_yolov8m_20t7_new No objects detected Detection preview by Segmentatation_v8_medium_train_250 No objects detected Detection preview by Segmentation_V11_large_300_train_300 No objects detected Detection preview by Segmentation_v8_large_300_train_300
Original Image: P07315.jpg
GT: pliers
pliers Detection preview by Box_v11_medium_train_SIXray_OPIXray No objects detected Detection preview by DN_Medium_300_yolov8m_20t7_new No objects detected Detection preview by Segmentatation_v8_medium_train_250 No objects detected Detection preview by Segmentation_V11_large_300_train_300 No objects detected Detection preview by Segmentation_v8_large_300_train_300
Original Image: P07316.jpg
GT: pliers
pliers Detection preview by Box_v11_medium_train_SIXray_OPIXray pliers Detection preview by DN_Medium_300_yolov8m_20t7_new No objects detected Detection preview by Segmentatation_v8_medium_train_250 No objects detected Detection preview by Segmentation_V11_large_300_train_300 No objects detected Detection preview by Segmentation_v8_large_300_train_300
Original Image: P07317.jpg
GT: pliers
pliers Detection preview by Box_v11_medium_train_SIXray_OPIXray No objects detected Detection preview by DN_Medium_300_yolov8m_20t7_new No objects detected Detection preview by Segmentatation_v8_medium_train_250 No objects detected Detection preview by Segmentation_V11_large_300_train_300 No objects detected Detection preview by Segmentation_v8_large_300_train_300
Original Image: P07318.jpg
GT: scissors
scissor Detection preview by Box_v11_medium_train_SIXray_OPIXray No objects detected Detection preview by DN_Medium_300_yolov8m_20t7_new scissor Detection preview by Segmentatation_v8_medium_train_250 scissor Detection preview by Segmentation_V11_large_300_train_300 scissor Detection preview by Segmentation_v8_large_300_train_300
Original Image: P07319.jpg
GT: scissors
scissor Detection preview by Box_v11_medium_train_SIXray_OPIXray No objects detected Detection preview by DN_Medium_300_yolov8m_20t7_new scissor Detection preview by Segmentatation_v8_medium_train_250 scissor Detection preview by Segmentation_V11_large_300_train_300 scissor Detection preview by Segmentation_v8_large_300_train_300
Original Image: P07320.jpg
GT: scissors
scissor Detection preview by Box_v11_medium_train_SIXray_OPIXray No objects detected Detection preview by DN_Medium_300_yolov8m_20t7_new scissor Detection preview by Segmentatation_v8_medium_train_250 scissor Detection preview by Segmentation_V11_large_300_train_300 scissor Detection preview by Segmentation_v8_large_300_train_300
Original Image: P07321.jpg
GT: scissors
scissor Detection preview by Box_v11_medium_train_SIXray_OPIXray No objects detected Detection preview by DN_Medium_300_yolov8m_20t7_new scissor Detection preview by Segmentatation_v8_medium_train_250 scissor Detection preview by Segmentation_V11_large_300_train_300 scissor Detection preview by Segmentation_v8_large_300_train_300
Original Image: P07322.jpg
GT: knife
knife Detection preview by Box_v11_medium_train_SIXray_OPIXray No objects detected Detection preview by DN_Medium_300_yolov8m_20t7_new knife Detection preview by Segmentatation_v8_medium_train_250 knife Detection preview by Segmentation_V11_large_300_train_300 knife Detection preview by Segmentation_v8_large_300_train_300
Original Image: P07323.jpg
GT: knife
knife Detection preview by Box_v11_medium_train_SIXray_OPIXray No objects detected Detection preview by DN_Medium_300_yolov8m_20t7_new knife Detection preview by Segmentatation_v8_medium_train_250 knife Detection preview by Segmentation_V11_large_300_train_300 knife Detection preview by Segmentation_v8_large_300_train_300
Original Image: P07324.jpg
GT: knife
knife Detection preview by Box_v11_medium_train_SIXray_OPIXray No objects detected Detection preview by DN_Medium_300_yolov8m_20t7_new knife Detection preview by Segmentatation_v8_medium_train_250 knife Detection preview by Segmentation_V11_large_300_train_300 knife Detection preview by Segmentation_v8_large_300_train_300
Original Image: P07325.jpg
GT: pliers
pliers Detection preview by Box_v11_medium_train_SIXray_OPIXray No objects detected Detection preview by DN_Medium_300_yolov8m_20t7_new No objects detected Detection preview by Segmentatation_v8_medium_train_250 No objects detected Detection preview by Segmentation_V11_large_300_train_300 No objects detected Detection preview by Segmentation_v8_large_300_train_300
Original Image: P07326.jpg
GT: pliers
pliers Detection preview by Box_v11_medium_train_SIXray_OPIXray No objects detected Detection preview by DN_Medium_300_yolov8m_20t7_new No objects detected Detection preview by Segmentatation_v8_medium_train_250 No objects detected Detection preview by Segmentation_V11_large_300_train_300 No objects detected Detection preview by Segmentation_v8_large_300_train_300
Original Image: P07327.jpg
GT: pliers, wrench
pliers, wrench Detection preview by Box_v11_medium_train_SIXray_OPIXray No objects detected Detection preview by DN_Medium_300_yolov8m_20t7_new wrench Detection preview by Segmentatation_v8_medium_train_250 wrench Detection preview by Segmentation_V11_large_300_train_300 wrench Detection preview by Segmentation_v8_large_300_train_300
Original Image: P07328.jpg
GT: pliers
pliers Detection preview by Box_v11_medium_train_SIXray_OPIXray No objects detected Detection preview by DN_Medium_300_yolov8m_20t7_new No objects detected Detection preview by Segmentatation_v8_medium_train_250 No objects detected Detection preview by Segmentation_V11_large_300_train_300 No objects detected Detection preview by Segmentation_v8_large_300_train_300
Original Image: P07329.jpg
GT: pliers
pliers Detection preview by Box_v11_medium_train_SIXray_OPIXray No objects detected Detection preview by DN_Medium_300_yolov8m_20t7_new No objects detected Detection preview by Segmentatation_v8_medium_train_250 No objects detected Detection preview by Segmentation_V11_large_300_train_300 No objects detected Detection preview by Segmentation_v8_large_300_train_300
Original Image: P07330.jpg
GT: scissors
scissor Detection preview by Box_v11_medium_train_SIXray_OPIXray No objects detected Detection preview by DN_Medium_300_yolov8m_20t7_new scissor Detection preview by Segmentatation_v8_medium_train_250 scissor Detection preview by Segmentation_V11_large_300_train_300 scissor Detection preview by Segmentation_v8_large_300_train_300
Original Image: P07331.jpg
GT: scissors
scissor Detection preview by Box_v11_medium_train_SIXray_OPIXray No objects detected Detection preview by DN_Medium_300_yolov8m_20t7_new scissor Detection preview by Segmentatation_v8_medium_train_250 scissor Detection preview by Segmentation_V11_large_300_train_300 scissor Detection preview by Segmentation_v8_large_300_train_300
Original Image: P07332.jpg
GT: scissors
scissor Detection preview by Box_v11_medium_train_SIXray_OPIXray No objects detected Detection preview by DN_Medium_300_yolov8m_20t7_new scissor Detection preview by Segmentatation_v8_medium_train_250 scissor Detection preview by Segmentation_V11_large_300_train_300 scissor Detection preview by Segmentation_v8_large_300_train_300
Original Image: P07333.jpg
GT: pliers
pliers Detection preview by Box_v11_medium_train_SIXray_OPIXray No objects detected Detection preview by DN_Medium_300_yolov8m_20t7_new No objects detected Detection preview by Segmentatation_v8_medium_train_250 No objects detected Detection preview by Segmentation_V11_large_300_train_300 No objects detected Detection preview by Segmentation_v8_large_300_train_300
Original Image: P07334.jpg
GT: pliers
pliers Detection preview by Box_v11_medium_train_SIXray_OPIXray No objects detected Detection preview by DN_Medium_300_yolov8m_20t7_new No objects detected Detection preview by Segmentatation_v8_medium_train_250 No objects detected Detection preview by Segmentation_V11_large_300_train_300 No objects detected Detection preview by Segmentation_v8_large_300_train_300
Original Image: P07335.jpg
GT: pliers
pliers Detection preview by Box_v11_medium_train_SIXray_OPIXray No objects detected Detection preview by DN_Medium_300_yolov8m_20t7_new No objects detected Detection preview by Segmentatation_v8_medium_train_250 No objects detected Detection preview by Segmentation_V11_large_300_train_300 No objects detected Detection preview by Segmentation_v8_large_300_train_300
Original Image: P07336.jpg
GT: pliers
pliers Detection preview by Box_v11_medium_train_SIXray_OPIXray No objects detected Detection preview by DN_Medium_300_yolov8m_20t7_new No objects detected Detection preview by Segmentatation_v8_medium_train_250 No objects detected Detection preview by Segmentation_V11_large_300_train_300 No objects detected Detection preview by Segmentation_v8_large_300_train_300
Original Image: P07337.jpg
GT: pliers
pliers Detection preview by Box_v11_medium_train_SIXray_OPIXray No objects detected Detection preview by DN_Medium_300_yolov8m_20t7_new No objects detected Detection preview by Segmentatation_v8_medium_train_250 No objects detected Detection preview by Segmentation_V11_large_300_train_300 No objects detected Detection preview by Segmentation_v8_large_300_train_300
Original Image: P07338.jpg
GT: pliers
pliers Detection preview by Box_v11_medium_train_SIXray_OPIXray No objects detected Detection preview by DN_Medium_300_yolov8m_20t7_new No objects detected Detection preview by Segmentatation_v8_medium_train_250 No objects detected Detection preview by Segmentation_V11_large_300_train_300 No objects detected Detection preview by Segmentation_v8_large_300_train_300
Original Image: P07339.jpg
GT: pliers
pliers Detection preview by Box_v11_medium_train_SIXray_OPIXray No objects detected Detection preview by DN_Medium_300_yolov8m_20t7_new No objects detected Detection preview by Segmentatation_v8_medium_train_250 No objects detected Detection preview by Segmentation_V11_large_300_train_300 No objects detected Detection preview by Segmentation_v8_large_300_train_300
Original Image: P07340.jpg
GT: pliers
pliers Detection preview by Box_v11_medium_train_SIXray_OPIXray No objects detected Detection preview by DN_Medium_300_yolov8m_20t7_new No objects detected Detection preview by Segmentatation_v8_medium_train_250 No objects detected Detection preview by Segmentation_V11_large_300_train_300 No objects detected Detection preview by Segmentation_v8_large_300_train_300
Original Image: P07341.jpg
GT: pliers
pliers Detection preview by Box_v11_medium_train_SIXray_OPIXray No objects detected Detection preview by DN_Medium_300_yolov8m_20t7_new No objects detected Detection preview by Segmentatation_v8_medium_train_250 No objects detected Detection preview by Segmentation_V11_large_300_train_300 No objects detected Detection preview by Segmentation_v8_large_300_train_300
Original Image: P07342.jpg
GT: pliers
pliers Detection preview by Box_v11_medium_train_SIXray_OPIXray No objects detected Detection preview by DN_Medium_300_yolov8m_20t7_new No objects detected Detection preview by Segmentatation_v8_medium_train_250 No objects detected Detection preview by Segmentation_V11_large_300_train_300 No objects detected Detection preview by Segmentation_v8_large_300_train_300
Original Image: P07343.jpg
GT: pliers
pliers Detection preview by Box_v11_medium_train_SIXray_OPIXray No objects detected Detection preview by DN_Medium_300_yolov8m_20t7_new No objects detected Detection preview by Segmentatation_v8_medium_train_250 No objects detected Detection preview by Segmentation_V11_large_300_train_300 No objects detected Detection preview by Segmentation_v8_large_300_train_300
Original Image: P07344.jpg
GT: pliers
pliers Detection preview by Box_v11_medium_train_SIXray_OPIXray No objects detected Detection preview by DN_Medium_300_yolov8m_20t7_new No objects detected Detection preview by Segmentatation_v8_medium_train_250 No objects detected Detection preview by Segmentation_V11_large_300_train_300 scissor Detection preview by Segmentation_v8_large_300_train_300
Original Image: P07345.jpg
GT: pliers
pliers Detection preview by Box_v11_medium_train_SIXray_OPIXray No objects detected Detection preview by DN_Medium_300_yolov8m_20t7_new No objects detected Detection preview by Segmentatation_v8_medium_train_250 No objects detected Detection preview by Segmentation_V11_large_300_train_300 No objects detected Detection preview by Segmentation_v8_large_300_train_300
Original Image: P07346.jpg
GT: pliers
pliers Detection preview by Box_v11_medium_train_SIXray_OPIXray No objects detected Detection preview by DN_Medium_300_yolov8m_20t7_new No objects detected Detection preview by Segmentatation_v8_medium_train_250 No objects detected Detection preview by Segmentation_V11_large_300_train_300 No objects detected Detection preview by Segmentation_v8_large_300_train_300
Original Image: P07347.jpg
GT: pliers
pliers Detection preview by Box_v11_medium_train_SIXray_OPIXray pliers Detection preview by DN_Medium_300_yolov8m_20t7_new No objects detected Detection preview by Segmentatation_v8_medium_train_250 No objects detected Detection preview by Segmentation_V11_large_300_train_300 No objects detected Detection preview by Segmentation_v8_large_300_train_300
Original Image: P07348.jpg
GT: wrench
wrench Detection preview by Box_v11_medium_train_SIXray_OPIXray No objects detected Detection preview by DN_Medium_300_yolov8m_20t7_new scissor, wrench Detection preview by Segmentatation_v8_medium_train_250 wrench Detection preview by Segmentation_V11_large_300_train_300 wrench Detection preview by Segmentation_v8_large_300_train_300
Original Image: P07349.jpg
GT: wrench
wrench Detection preview by Box_v11_medium_train_SIXray_OPIXray No objects detected Detection preview by DN_Medium_300_yolov8m_20t7_new wrench Detection preview by Segmentatation_v8_medium_train_250 wrench Detection preview by Segmentation_V11_large_300_train_300 wrench Detection preview by Segmentation_v8_large_300_train_300
Original Image: P07350.jpg
GT: pliers, wrench
pliers, wrench Detection preview by Box_v11_medium_train_SIXray_OPIXray No objects detected Detection preview by DN_Medium_300_yolov8m_20t7_new wrench Detection preview by Segmentatation_v8_medium_train_250 wrench Detection preview by Segmentation_V11_large_300_train_300 wrench Detection preview by Segmentation_v8_large_300_train_300
Original Image: P07351.jpg
GT: pliers
pliers Detection preview by Box_v11_medium_train_SIXray_OPIXray No objects detected Detection preview by DN_Medium_300_yolov8m_20t7_new No objects detected Detection preview by Segmentatation_v8_medium_train_250 No objects detected Detection preview by Segmentation_V11_large_300_train_300 No objects detected Detection preview by Segmentation_v8_large_300_train_300
Original Image: P07352.jpg
GT: wrench
wrench Detection preview by Box_v11_medium_train_SIXray_OPIXray No objects detected Detection preview by DN_Medium_300_yolov8m_20t7_new wrench Detection preview by Segmentatation_v8_medium_train_250 wrench Detection preview by Segmentation_V11_large_300_train_300 No objects detected Detection preview by Segmentation_v8_large_300_train_300
Original Image: P07353.jpg
GT: pliers
pliers Detection preview by Box_v11_medium_train_SIXray_OPIXray No objects detected Detection preview by DN_Medium_300_yolov8m_20t7_new No objects detected Detection preview by Segmentatation_v8_medium_train_250 No objects detected Detection preview by Segmentation_V11_large_300_train_300 No objects detected Detection preview by Segmentation_v8_large_300_train_300
Original Image: P07354.jpg
GT: pliers
pliers Detection preview by Box_v11_medium_train_SIXray_OPIXray pliers Detection preview by DN_Medium_300_yolov8m_20t7_new No objects detected Detection preview by Segmentatation_v8_medium_train_250 No objects detected Detection preview by Segmentation_V11_large_300_train_300 No objects detected Detection preview by Segmentation_v8_large_300_train_300
Original Image: P07355.jpg
GT: pliers
pliers Detection preview by Box_v11_medium_train_SIXray_OPIXray pliers Detection preview by DN_Medium_300_yolov8m_20t7_new No objects detected Detection preview by Segmentatation_v8_medium_train_250 No objects detected Detection preview by Segmentation_V11_large_300_train_300 No objects detected Detection preview by Segmentation_v8_large_300_train_300
Original Image: P07356.jpg
GT: pliers, wrench
pliers, wrench Detection preview by Box_v11_medium_train_SIXray_OPIXray No objects detected Detection preview by DN_Medium_300_yolov8m_20t7_new wrench Detection preview by Segmentatation_v8_medium_train_250 wrench Detection preview by Segmentation_V11_large_300_train_300 wrench Detection preview by Segmentation_v8_large_300_train_300
Original Image: P07357.jpg
GT: pliers, wrench
pliers, wrench Detection preview by Box_v11_medium_train_SIXray_OPIXray No objects detected Detection preview by DN_Medium_300_yolov8m_20t7_new wrench Detection preview by Segmentatation_v8_medium_train_250 wrench Detection preview by Segmentation_V11_large_300_train_300 wrench Detection preview by Segmentation_v8_large_300_train_300
Original Image: P07358.jpg
GT: pliers
pliers Detection preview by Box_v11_medium_train_SIXray_OPIXray No objects detected Detection preview by DN_Medium_300_yolov8m_20t7_new No objects detected Detection preview by Segmentatation_v8_medium_train_250 No objects detected Detection preview by Segmentation_V11_large_300_train_300 No objects detected Detection preview by Segmentation_v8_large_300_train_300
Original Image: P07359.jpg
GT: pliers
pliers Detection preview by Box_v11_medium_train_SIXray_OPIXray No objects detected Detection preview by DN_Medium_300_yolov8m_20t7_new No objects detected Detection preview by Segmentatation_v8_medium_train_250 No objects detected Detection preview by Segmentation_V11_large_300_train_300 No objects detected Detection preview by Segmentation_v8_large_300_train_300
Original Image: P07360.jpg
GT: pliers
pliers Detection preview by Box_v11_medium_train_SIXray_OPIXray No objects detected Detection preview by DN_Medium_300_yolov8m_20t7_new No objects detected Detection preview by Segmentatation_v8_medium_train_250 No objects detected Detection preview by Segmentation_V11_large_300_train_300 No objects detected Detection preview by Segmentation_v8_large_300_train_300
Original Image: P07361.jpg
GT: pliers
pliers Detection preview by Box_v11_medium_train_SIXray_OPIXray No objects detected Detection preview by DN_Medium_300_yolov8m_20t7_new No objects detected Detection preview by Segmentatation_v8_medium_train_250 No objects detected Detection preview by Segmentation_V11_large_300_train_300 No objects detected Detection preview by Segmentation_v8_large_300_train_300
Original Image: P07362.jpg
GT: pliers
pliers Detection preview by Box_v11_medium_train_SIXray_OPIXray No objects detected Detection preview by DN_Medium_300_yolov8m_20t7_new No objects detected Detection preview by Segmentatation_v8_medium_train_250 No objects detected Detection preview by Segmentation_V11_large_300_train_300 No objects detected Detection preview by Segmentation_v8_large_300_train_300
Original Image: P07363.jpg
GT: pliers
pliers Detection preview by Box_v11_medium_train_SIXray_OPIXray No objects detected Detection preview by DN_Medium_300_yolov8m_20t7_new No objects detected Detection preview by Segmentatation_v8_medium_train_250 No objects detected Detection preview by Segmentation_V11_large_300_train_300 No objects detected Detection preview by Segmentation_v8_large_300_train_300
Original Image: P07364.jpg
GT: pliers
pliers Detection preview by Box_v11_medium_train_SIXray_OPIXray No objects detected Detection preview by DN_Medium_300_yolov8m_20t7_new No objects detected Detection preview by Segmentatation_v8_medium_train_250 No objects detected Detection preview by Segmentation_V11_large_300_train_300 No objects detected Detection preview by Segmentation_v8_large_300_train_300
Original Image: P07365.jpg
GT: pliers
pliers Detection preview by Box_v11_medium_train_SIXray_OPIXray No objects detected Detection preview by DN_Medium_300_yolov8m_20t7_new No objects detected Detection preview by Segmentatation_v8_medium_train_250 No objects detected Detection preview by Segmentation_V11_large_300_train_300 No objects detected Detection preview by Segmentation_v8_large_300_train_300
Original Image: P07366.jpg
GT: pliers
pliers Detection preview by Box_v11_medium_train_SIXray_OPIXray No objects detected Detection preview by DN_Medium_300_yolov8m_20t7_new No objects detected Detection preview by Segmentatation_v8_medium_train_250 No objects detected Detection preview by Segmentation_V11_large_300_train_300 No objects detected Detection preview by Segmentation_v8_large_300_train_300
Original Image: P07367.jpg
GT: pliers
pliers Detection preview by Box_v11_medium_train_SIXray_OPIXray No objects detected Detection preview by DN_Medium_300_yolov8m_20t7_new No objects detected Detection preview by Segmentatation_v8_medium_train_250 No objects detected Detection preview by Segmentation_V11_large_300_train_300 No objects detected Detection preview by Segmentation_v8_large_300_train_300
Original Image: P07368.jpg
GT: pliers
pliers Detection preview by Box_v11_medium_train_SIXray_OPIXray No objects detected Detection preview by DN_Medium_300_yolov8m_20t7_new No objects detected Detection preview by Segmentatation_v8_medium_train_250 No objects detected Detection preview by Segmentation_V11_large_300_train_300 No objects detected Detection preview by Segmentation_v8_large_300_train_300
Original Image: P07369.jpg
GT: pliers
pliers Detection preview by Box_v11_medium_train_SIXray_OPIXray No objects detected Detection preview by DN_Medium_300_yolov8m_20t7_new No objects detected Detection preview by Segmentatation_v8_medium_train_250 No objects detected Detection preview by Segmentation_V11_large_300_train_300 No objects detected Detection preview by Segmentation_v8_large_300_train_300
Original Image: P07370.jpg
GT: pliers
pliers Detection preview by Box_v11_medium_train_SIXray_OPIXray No objects detected Detection preview by DN_Medium_300_yolov8m_20t7_new No objects detected Detection preview by Segmentatation_v8_medium_train_250 No objects detected Detection preview by Segmentation_V11_large_300_train_300 No objects detected Detection preview by Segmentation_v8_large_300_train_300
Original Image: P07371.jpg
GT: pliers
pliers Detection preview by Box_v11_medium_train_SIXray_OPIXray No objects detected Detection preview by DN_Medium_300_yolov8m_20t7_new No objects detected Detection preview by Segmentatation_v8_medium_train_250 No objects detected Detection preview by Segmentation_V11_large_300_train_300 No objects detected Detection preview by Segmentation_v8_large_300_train_300
Original Image: P07372.jpg
GT: pliers
pliers Detection preview by Box_v11_medium_train_SIXray_OPIXray No objects detected Detection preview by DN_Medium_300_yolov8m_20t7_new No objects detected Detection preview by Segmentatation_v8_medium_train_250 No objects detected Detection preview by Segmentation_V11_large_300_train_300 No objects detected Detection preview by Segmentation_v8_large_300_train_300
Original Image: P07373.jpg
GT: pliers
pliers Detection preview by Box_v11_medium_train_SIXray_OPIXray No objects detected Detection preview by DN_Medium_300_yolov8m_20t7_new No objects detected Detection preview by Segmentatation_v8_medium_train_250 No objects detected Detection preview by Segmentation_V11_large_300_train_300 No objects detected Detection preview by Segmentation_v8_large_300_train_300
Original Image: P07374.jpg
GT: pliers
pliers Detection preview by Box_v11_medium_train_SIXray_OPIXray No objects detected Detection preview by DN_Medium_300_yolov8m_20t7_new No objects detected Detection preview by Segmentatation_v8_medium_train_250 No objects detected Detection preview by Segmentation_V11_large_300_train_300 No objects detected Detection preview by Segmentation_v8_large_300_train_300
Original Image: P07375.jpg
GT: pliers
pliers Detection preview by Box_v11_medium_train_SIXray_OPIXray No objects detected Detection preview by DN_Medium_300_yolov8m_20t7_new No objects detected Detection preview by Segmentatation_v8_medium_train_250 No objects detected Detection preview by Segmentation_V11_large_300_train_300 No objects detected Detection preview by Segmentation_v8_large_300_train_300
Original Image: P07376.jpg
GT: pliers
pliers Detection preview by Box_v11_medium_train_SIXray_OPIXray No objects detected Detection preview by DN_Medium_300_yolov8m_20t7_new No objects detected Detection preview by Segmentatation_v8_medium_train_250 No objects detected Detection preview by Segmentation_V11_large_300_train_300 No objects detected Detection preview by Segmentation_v8_large_300_train_300
Original Image: P07377.jpg
GT: pliers
pliers Detection preview by Box_v11_medium_train_SIXray_OPIXray No objects detected Detection preview by DN_Medium_300_yolov8m_20t7_new No objects detected Detection preview by Segmentatation_v8_medium_train_250 No objects detected Detection preview by Segmentation_V11_large_300_train_300 No objects detected Detection preview by Segmentation_v8_large_300_train_300
Original Image: P07378.jpg
GT: pliers
pliers Detection preview by Box_v11_medium_train_SIXray_OPIXray No objects detected Detection preview by DN_Medium_300_yolov8m_20t7_new No objects detected Detection preview by Segmentatation_v8_medium_train_250 No objects detected Detection preview by Segmentation_V11_large_300_train_300 No objects detected Detection preview by Segmentation_v8_large_300_train_300
Original Image: P07379.jpg
GT: pliers
pliers Detection preview by Box_v11_medium_train_SIXray_OPIXray No objects detected Detection preview by DN_Medium_300_yolov8m_20t7_new No objects detected Detection preview by Segmentatation_v8_medium_train_250 No objects detected Detection preview by Segmentation_V11_large_300_train_300 No objects detected Detection preview by Segmentation_v8_large_300_train_300
Original Image: P07380.jpg
GT: pliers
pliers Detection preview by Box_v11_medium_train_SIXray_OPIXray No objects detected Detection preview by DN_Medium_300_yolov8m_20t7_new No objects detected Detection preview by Segmentatation_v8_medium_train_250 No objects detected Detection preview by Segmentation_V11_large_300_train_300 No objects detected Detection preview by Segmentation_v8_large_300_train_300
Original Image: P07381.jpg
GT: pliers
pliers Detection preview by Box_v11_medium_train_SIXray_OPIXray No objects detected Detection preview by DN_Medium_300_yolov8m_20t7_new No objects detected Detection preview by Segmentatation_v8_medium_train_250 No objects detected Detection preview by Segmentation_V11_large_300_train_300 No objects detected Detection preview by Segmentation_v8_large_300_train_300
Original Image: P07382.jpg
GT: pliers
pliers Detection preview by Box_v11_medium_train_SIXray_OPIXray No objects detected Detection preview by DN_Medium_300_yolov8m_20t7_new No objects detected Detection preview by Segmentatation_v8_medium_train_250 No objects detected Detection preview by Segmentation_V11_large_300_train_300 No objects detected Detection preview by Segmentation_v8_large_300_train_300
Original Image: P07383.jpg
GT: pliers
pliers Detection preview by Box_v11_medium_train_SIXray_OPIXray No objects detected Detection preview by DN_Medium_300_yolov8m_20t7_new No objects detected Detection preview by Segmentatation_v8_medium_train_250 No objects detected Detection preview by Segmentation_V11_large_300_train_300 No objects detected Detection preview by Segmentation_v8_large_300_train_300
Original Image: P07384.jpg
GT: pliers
pliers Detection preview by Box_v11_medium_train_SIXray_OPIXray No objects detected Detection preview by DN_Medium_300_yolov8m_20t7_new No objects detected Detection preview by Segmentatation_v8_medium_train_250 No objects detected Detection preview by Segmentation_V11_large_300_train_300 No objects detected Detection preview by Segmentation_v8_large_300_train_300
Original Image: P07385.jpg
GT: pliers
pliers Detection preview by Box_v11_medium_train_SIXray_OPIXray No objects detected Detection preview by DN_Medium_300_yolov8m_20t7_new No objects detected Detection preview by Segmentatation_v8_medium_train_250 No objects detected Detection preview by Segmentation_V11_large_300_train_300 No objects detected Detection preview by Segmentation_v8_large_300_train_300
Original Image: P07386.jpg
GT: pliers
pliers Detection preview by Box_v11_medium_train_SIXray_OPIXray No objects detected Detection preview by DN_Medium_300_yolov8m_20t7_new No objects detected Detection preview by Segmentatation_v8_medium_train_250 No objects detected Detection preview by Segmentation_V11_large_300_train_300 No objects detected Detection preview by Segmentation_v8_large_300_train_300
Original Image: P07387.jpg
GT: pliers
pliers Detection preview by Box_v11_medium_train_SIXray_OPIXray No objects detected Detection preview by DN_Medium_300_yolov8m_20t7_new No objects detected Detection preview by Segmentatation_v8_medium_train_250 No objects detected Detection preview by Segmentation_V11_large_300_train_300 No objects detected Detection preview by Segmentation_v8_large_300_train_300
Original Image: P07388.jpg
GT: pliers
pliers Detection preview by Box_v11_medium_train_SIXray_OPIXray No objects detected Detection preview by DN_Medium_300_yolov8m_20t7_new No objects detected Detection preview by Segmentatation_v8_medium_train_250 No objects detected Detection preview by Segmentation_V11_large_300_train_300 No objects detected Detection preview by Segmentation_v8_large_300_train_300
Original Image: P07389.jpg
GT: pliers
pliers Detection preview by Box_v11_medium_train_SIXray_OPIXray No objects detected Detection preview by DN_Medium_300_yolov8m_20t7_new No objects detected Detection preview by Segmentatation_v8_medium_train_250 No objects detected Detection preview by Segmentation_V11_large_300_train_300 No objects detected Detection preview by Segmentation_v8_large_300_train_300
Original Image: P07390.jpg
GT: pliers
pliers Detection preview by Box_v11_medium_train_SIXray_OPIXray No objects detected Detection preview by DN_Medium_300_yolov8m_20t7_new No objects detected Detection preview by Segmentatation_v8_medium_train_250 No objects detected Detection preview by Segmentation_V11_large_300_train_300 No objects detected Detection preview by Segmentation_v8_large_300_train_300
Original Image: P07391.jpg
GT: pliers
pliers Detection preview by Box_v11_medium_train_SIXray_OPIXray No objects detected Detection preview by DN_Medium_300_yolov8m_20t7_new No objects detected Detection preview by Segmentatation_v8_medium_train_250 No objects detected Detection preview by Segmentation_V11_large_300_train_300 No objects detected Detection preview by Segmentation_v8_large_300_train_300
Original Image: P07392.jpg
GT: pliers
pliers Detection preview by Box_v11_medium_train_SIXray_OPIXray No objects detected Detection preview by DN_Medium_300_yolov8m_20t7_new No objects detected Detection preview by Segmentatation_v8_medium_train_250 No objects detected Detection preview by Segmentation_V11_large_300_train_300 No objects detected Detection preview by Segmentation_v8_large_300_train_300
Original Image: P07393.jpg
GT: pliers
pliers Detection preview by Box_v11_medium_train_SIXray_OPIXray No objects detected Detection preview by DN_Medium_300_yolov8m_20t7_new No objects detected Detection preview by Segmentatation_v8_medium_train_250 No objects detected Detection preview by Segmentation_V11_large_300_train_300 No objects detected Detection preview by Segmentation_v8_large_300_train_300
Original Image: P07394.jpg
GT: pliers
pliers Detection preview by Box_v11_medium_train_SIXray_OPIXray No objects detected Detection preview by DN_Medium_300_yolov8m_20t7_new No objects detected Detection preview by Segmentatation_v8_medium_train_250 No objects detected Detection preview by Segmentation_V11_large_300_train_300 No objects detected Detection preview by Segmentation_v8_large_300_train_300
Original Image: P07395.jpg
GT: pliers
pliers Detection preview by Box_v11_medium_train_SIXray_OPIXray No objects detected Detection preview by DN_Medium_300_yolov8m_20t7_new No objects detected Detection preview by Segmentatation_v8_medium_train_250 No objects detected Detection preview by Segmentation_V11_large_300_train_300 No objects detected Detection preview by Segmentation_v8_large_300_train_300
Original Image: P07396.jpg
GT: wrench
wrench Detection preview by Box_v11_medium_train_SIXray_OPIXray No objects detected Detection preview by DN_Medium_300_yolov8m_20t7_new wrench Detection preview by Segmentatation_v8_medium_train_250 wrench Detection preview by Segmentation_V11_large_300_train_300 wrench Detection preview by Segmentation_v8_large_300_train_300
Original Image: P07397.jpg
GT: pliers
pliers Detection preview by Box_v11_medium_train_SIXray_OPIXray No objects detected Detection preview by DN_Medium_300_yolov8m_20t7_new No objects detected Detection preview by Segmentatation_v8_medium_train_250 No objects detected Detection preview by Segmentation_V11_large_300_train_300 No objects detected Detection preview by Segmentation_v8_large_300_train_300
Original Image: P07398.jpg
GT: pliers
pliers Detection preview by Box_v11_medium_train_SIXray_OPIXray No objects detected Detection preview by DN_Medium_300_yolov8m_20t7_new No objects detected Detection preview by Segmentatation_v8_medium_train_250 No objects detected Detection preview by Segmentation_V11_large_300_train_300 No objects detected Detection preview by Segmentation_v8_large_300_train_300
Original Image: P07399.jpg
GT: pliers
pliers Detection preview by Box_v11_medium_train_SIXray_OPIXray pliers Detection preview by DN_Medium_300_yolov8m_20t7_new No objects detected Detection preview by Segmentatation_v8_medium_train_250 No objects detected Detection preview by Segmentation_V11_large_300_train_300 No objects detected Detection preview by Segmentation_v8_large_300_train_300
Original Image: P07400.jpg
GT: pliers
pliers Detection preview by Box_v11_medium_train_SIXray_OPIXray pliers Detection preview by DN_Medium_300_yolov8m_20t7_new No objects detected Detection preview by Segmentatation_v8_medium_train_250 No objects detected Detection preview by Segmentation_V11_large_300_train_300 No objects detected Detection preview by Segmentation_v8_large_300_train_300
Original Image: P07401.jpg
GT: pliers, wrench
pliers, wrench Detection preview by Box_v11_medium_train_SIXray_OPIXray No objects detected Detection preview by DN_Medium_300_yolov8m_20t7_new No objects detected Detection preview by Segmentatation_v8_medium_train_250 wrench Detection preview by Segmentation_V11_large_300_train_300 No objects detected Detection preview by Segmentation_v8_large_300_train_300
Original Image: P07402.jpg
GT: pliers, wrench
pliers, wrench Detection preview by Box_v11_medium_train_SIXray_OPIXray pliers Detection preview by DN_Medium_300_yolov8m_20t7_new wrench Detection preview by Segmentatation_v8_medium_train_250 wrench Detection preview by Segmentation_V11_large_300_train_300 wrench Detection preview by Segmentation_v8_large_300_train_300
Original Image: P07403.jpg
GT: wrench
wrench Detection preview by Box_v11_medium_train_SIXray_OPIXray No objects detected Detection preview by DN_Medium_300_yolov8m_20t7_new wrench Detection preview by Segmentatation_v8_medium_train_250 wrench Detection preview by Segmentation_V11_large_300_train_300 wrench Detection preview by Segmentation_v8_large_300_train_300
Original Image: P07404.jpg
GT: wrench
wrench Detection preview by Box_v11_medium_train_SIXray_OPIXray No objects detected Detection preview by DN_Medium_300_yolov8m_20t7_new wrench Detection preview by Segmentatation_v8_medium_train_250 wrench Detection preview by Segmentation_V11_large_300_train_300 wrench Detection preview by Segmentation_v8_large_300_train_300
Original Image: P07405.jpg
GT: pliers, wrench
pliers, wrench Detection preview by Box_v11_medium_train_SIXray_OPIXray No objects detected Detection preview by DN_Medium_300_yolov8m_20t7_new wrench Detection preview by Segmentatation_v8_medium_train_250 wrench Detection preview by Segmentation_V11_large_300_train_300 wrench Detection preview by Segmentation_v8_large_300_train_300
Original Image: P07406.jpg
GT: pliers, wrench
pliers, wrench Detection preview by Box_v11_medium_train_SIXray_OPIXray No objects detected Detection preview by DN_Medium_300_yolov8m_20t7_new wrench Detection preview by Segmentatation_v8_medium_train_250 wrench Detection preview by Segmentation_V11_large_300_train_300 wrench Detection preview by Segmentation_v8_large_300_train_300
Original Image: P07407.jpg
GT: pliers, wrench
pliers, wrench Detection preview by Box_v11_medium_train_SIXray_OPIXray No objects detected Detection preview by DN_Medium_300_yolov8m_20t7_new wrench Detection preview by Segmentatation_v8_medium_train_250 wrench Detection preview by Segmentation_V11_large_300_train_300 wrench Detection preview by Segmentation_v8_large_300_train_300
Original Image: P07408.jpg
GT: pliers, wrench
pliers, wrench Detection preview by Box_v11_medium_train_SIXray_OPIXray No objects detected Detection preview by DN_Medium_300_yolov8m_20t7_new wrench Detection preview by Segmentatation_v8_medium_train_250 wrench Detection preview by Segmentation_V11_large_300_train_300 wrench Detection preview by Segmentation_v8_large_300_train_300
Original Image: P07409.jpg
GT: scissors
scissor Detection preview by Box_v11_medium_train_SIXray_OPIXray No objects detected Detection preview by DN_Medium_300_yolov8m_20t7_new scissor Detection preview by Segmentatation_v8_medium_train_250 scissor Detection preview by Segmentation_V11_large_300_train_300 scissor Detection preview by Segmentation_v8_large_300_train_300
Original Image: P07410.jpg
GT: scissors
scissor Detection preview by Box_v11_medium_train_SIXray_OPIXray No objects detected Detection preview by DN_Medium_300_yolov8m_20t7_new scissor Detection preview by Segmentatation_v8_medium_train_250 scissor Detection preview by Segmentation_V11_large_300_train_300 scissor Detection preview by Segmentation_v8_large_300_train_300
Original Image: P07411.jpg
GT: pliers
pliers Detection preview by Box_v11_medium_train_SIXray_OPIXray pliers Detection preview by DN_Medium_300_yolov8m_20t7_new No objects detected Detection preview by Segmentatation_v8_medium_train_250 No objects detected Detection preview by Segmentation_V11_large_300_train_300 No objects detected Detection preview by Segmentation_v8_large_300_train_300
Original Image: P07412.jpg
GT: pliers
pliers Detection preview by Box_v11_medium_train_SIXray_OPIXray pliers Detection preview by DN_Medium_300_yolov8m_20t7_new No objects detected Detection preview by Segmentatation_v8_medium_train_250 No objects detected Detection preview by Segmentation_V11_large_300_train_300 No objects detected Detection preview by Segmentation_v8_large_300_train_300
Original Image: P07413.jpg
GT: pliers
pliers Detection preview by Box_v11_medium_train_SIXray_OPIXray pliers Detection preview by DN_Medium_300_yolov8m_20t7_new No objects detected Detection preview by Segmentatation_v8_medium_train_250 No objects detected Detection preview by Segmentation_V11_large_300_train_300 No objects detected Detection preview by Segmentation_v8_large_300_train_300
Original Image: P07414.jpg
GT: pliers
pliers Detection preview by Box_v11_medium_train_SIXray_OPIXray pliers Detection preview by DN_Medium_300_yolov8m_20t7_new No objects detected Detection preview by Segmentatation_v8_medium_train_250 No objects detected Detection preview by Segmentation_V11_large_300_train_300 No objects detected Detection preview by Segmentation_v8_large_300_train_300
Original Image: P07415.jpg
GT: pliers
pliers Detection preview by Box_v11_medium_train_SIXray_OPIXray pliers Detection preview by DN_Medium_300_yolov8m_20t7_new No objects detected Detection preview by Segmentatation_v8_medium_train_250 No objects detected Detection preview by Segmentation_V11_large_300_train_300 No objects detected Detection preview by Segmentation_v8_large_300_train_300
Original Image: P07416.jpg
GT: pliers, wrench
pliers, wrench Detection preview by Box_v11_medium_train_SIXray_OPIXray No objects detected Detection preview by DN_Medium_300_yolov8m_20t7_new wrench Detection preview by Segmentatation_v8_medium_train_250 wrench Detection preview by Segmentation_V11_large_300_train_300 wrench Detection preview by Segmentation_v8_large_300_train_300
Original Image: P07417.jpg
GT: pliers, wrench
pliers, wrench Detection preview by Box_v11_medium_train_SIXray_OPIXray No objects detected Detection preview by DN_Medium_300_yolov8m_20t7_new wrench Detection preview by Segmentatation_v8_medium_train_250 wrench Detection preview by Segmentation_V11_large_300_train_300 wrench Detection preview by Segmentation_v8_large_300_train_300
Original Image: P07418.jpg
GT: pliers, wrench
pliers, wrench Detection preview by Box_v11_medium_train_SIXray_OPIXray No objects detected Detection preview by DN_Medium_300_yolov8m_20t7_new wrench Detection preview by Segmentatation_v8_medium_train_250 wrench Detection preview by Segmentation_V11_large_300_train_300 wrench Detection preview by Segmentation_v8_large_300_train_300
Original Image: P07419.jpg
GT: pliers
pliers Detection preview by Box_v11_medium_train_SIXray_OPIXray No objects detected Detection preview by DN_Medium_300_yolov8m_20t7_new No objects detected Detection preview by Segmentatation_v8_medium_train_250 No objects detected Detection preview by Segmentation_V11_large_300_train_300 No objects detected Detection preview by Segmentation_v8_large_300_train_300
Original Image: P07420.jpg
GT: pliers
pliers Detection preview by Box_v11_medium_train_SIXray_OPIXray pliers Detection preview by DN_Medium_300_yolov8m_20t7_new No objects detected Detection preview by Segmentatation_v8_medium_train_250 No objects detected Detection preview by Segmentation_V11_large_300_train_300 No objects detected Detection preview by Segmentation_v8_large_300_train_300
Original Image: P07421.jpg
GT: pliers
pliers Detection preview by Box_v11_medium_train_SIXray_OPIXray pliers Detection preview by DN_Medium_300_yolov8m_20t7_new No objects detected Detection preview by Segmentatation_v8_medium_train_250 No objects detected Detection preview by Segmentation_V11_large_300_train_300 No objects detected Detection preview by Segmentation_v8_large_300_train_300
Original Image: P07422.jpg
GT: pliers
pliers Detection preview by Box_v11_medium_train_SIXray_OPIXray pliers Detection preview by DN_Medium_300_yolov8m_20t7_new No objects detected Detection preview by Segmentatation_v8_medium_train_250 No objects detected Detection preview by Segmentation_V11_large_300_train_300 No objects detected Detection preview by Segmentation_v8_large_300_train_300
Original Image: P07423.jpg
GT: pliers
pliers Detection preview by Box_v11_medium_train_SIXray_OPIXray pliers Detection preview by DN_Medium_300_yolov8m_20t7_new No objects detected Detection preview by Segmentatation_v8_medium_train_250 No objects detected Detection preview by Segmentation_V11_large_300_train_300 No objects detected Detection preview by Segmentation_v8_large_300_train_300
Original Image: P07424.jpg
GT: scissors
scissor Detection preview by Box_v11_medium_train_SIXray_OPIXray No objects detected Detection preview by DN_Medium_300_yolov8m_20t7_new scissor Detection preview by Segmentatation_v8_medium_train_250 scissor Detection preview by Segmentation_V11_large_300_train_300 scissor Detection preview by Segmentation_v8_large_300_train_300
Original Image: P07425.jpg
GT: scissors
scissor Detection preview by Box_v11_medium_train_SIXray_OPIXray No objects detected Detection preview by DN_Medium_300_yolov8m_20t7_new scissor Detection preview by Segmentatation_v8_medium_train_250 scissor Detection preview by Segmentation_V11_large_300_train_300 scissor Detection preview by Segmentation_v8_large_300_train_300
Original Image: P07426.jpg
GT: pliers, wrench
pliers, wrench Detection preview by Box_v11_medium_train_SIXray_OPIXray No objects detected Detection preview by DN_Medium_300_yolov8m_20t7_new wrench Detection preview by Segmentatation_v8_medium_train_250 wrench Detection preview by Segmentation_V11_large_300_train_300 wrench Detection preview by Segmentation_v8_large_300_train_300
Original Image: P07427.jpg
GT: pliers, wrench
pliers, wrench Detection preview by Box_v11_medium_train_SIXray_OPIXray No objects detected Detection preview by DN_Medium_300_yolov8m_20t7_new wrench Detection preview by Segmentatation_v8_medium_train_250 wrench Detection preview by Segmentation_V11_large_300_train_300 wrench Detection preview by Segmentation_v8_large_300_train_300
Original Image: P07428.jpg
GT: wrench
wrench Detection preview by Box_v11_medium_train_SIXray_OPIXray No objects detected Detection preview by DN_Medium_300_yolov8m_20t7_new wrench Detection preview by Segmentatation_v8_medium_train_250 wrench Detection preview by Segmentation_V11_large_300_train_300 No objects detected Detection preview by Segmentation_v8_large_300_train_300
Original Image: P07429.jpg
GT: pliers
pliers Detection preview by Box_v11_medium_train_SIXray_OPIXray No objects detected Detection preview by DN_Medium_300_yolov8m_20t7_new No objects detected Detection preview by Segmentatation_v8_medium_train_250 No objects detected Detection preview by Segmentation_V11_large_300_train_300 No objects detected Detection preview by Segmentation_v8_large_300_train_300
Original Image: P07430.jpg
GT: pliers
pliers Detection preview by Box_v11_medium_train_SIXray_OPIXray No objects detected Detection preview by DN_Medium_300_yolov8m_20t7_new No objects detected Detection preview by Segmentatation_v8_medium_train_250 No objects detected Detection preview by Segmentation_V11_large_300_train_300 wrench Detection preview by Segmentation_v8_large_300_train_300
Original Image: P07431.jpg
GT: pliers
pliers Detection preview by Box_v11_medium_train_SIXray_OPIXray No objects detected Detection preview by DN_Medium_300_yolov8m_20t7_new No objects detected Detection preview by Segmentatation_v8_medium_train_250 No objects detected Detection preview by Segmentation_V11_large_300_train_300 wrench Detection preview by Segmentation_v8_large_300_train_300
Original Image: P07432.jpg
GT: pliers
pliers Detection preview by Box_v11_medium_train_SIXray_OPIXray No objects detected Detection preview by DN_Medium_300_yolov8m_20t7_new No objects detected Detection preview by Segmentatation_v8_medium_train_250 No objects detected Detection preview by Segmentation_V11_large_300_train_300 No objects detected Detection preview by Segmentation_v8_large_300_train_300
Original Image: P07433.jpg
GT: pliers
pliers Detection preview by Box_v11_medium_train_SIXray_OPIXray No objects detected Detection preview by DN_Medium_300_yolov8m_20t7_new No objects detected Detection preview by Segmentatation_v8_medium_train_250 No objects detected Detection preview by Segmentation_V11_large_300_train_300 No objects detected Detection preview by Segmentation_v8_large_300_train_300
Original Image: P07434.jpg
GT: pliers
pliers Detection preview by Box_v11_medium_train_SIXray_OPIXray No objects detected Detection preview by DN_Medium_300_yolov8m_20t7_new No objects detected Detection preview by Segmentatation_v8_medium_train_250 No objects detected Detection preview by Segmentation_V11_large_300_train_300 wrench Detection preview by Segmentation_v8_large_300_train_300
Original Image: P07435.jpg
GT: pliers, wrench
pliers, wrench Detection preview by Box_v11_medium_train_SIXray_OPIXray No objects detected Detection preview by DN_Medium_300_yolov8m_20t7_new wrench Detection preview by Segmentatation_v8_medium_train_250 wrench Detection preview by Segmentation_V11_large_300_train_300 wrench Detection preview by Segmentation_v8_large_300_train_300
Original Image: P07436.jpg
GT: pliers
pliers Detection preview by Box_v11_medium_train_SIXray_OPIXray No objects detected Detection preview by DN_Medium_300_yolov8m_20t7_new No objects detected Detection preview by Segmentatation_v8_medium_train_250 No objects detected Detection preview by Segmentation_V11_large_300_train_300 No objects detected Detection preview by Segmentation_v8_large_300_train_300
Original Image: P07437.jpg
GT: pliers
pliers Detection preview by Box_v11_medium_train_SIXray_OPIXray No objects detected Detection preview by DN_Medium_300_yolov8m_20t7_new No objects detected Detection preview by Segmentatation_v8_medium_train_250 No objects detected Detection preview by Segmentation_V11_large_300_train_300 No objects detected Detection preview by Segmentation_v8_large_300_train_300
Original Image: P07438.jpg
GT: pliers
pliers Detection preview by Box_v11_medium_train_SIXray_OPIXray No objects detected Detection preview by DN_Medium_300_yolov8m_20t7_new No objects detected Detection preview by Segmentatation_v8_medium_train_250 No objects detected Detection preview by Segmentation_V11_large_300_train_300 No objects detected Detection preview by Segmentation_v8_large_300_train_300
Original Image: P07439.jpg
GT: pliers
pliers Detection preview by Box_v11_medium_train_SIXray_OPIXray No objects detected Detection preview by DN_Medium_300_yolov8m_20t7_new No objects detected Detection preview by Segmentatation_v8_medium_train_250 No objects detected Detection preview by Segmentation_V11_large_300_train_300 No objects detected Detection preview by Segmentation_v8_large_300_train_300
Original Image: P07440.jpg
GT: pliers
pliers Detection preview by Box_v11_medium_train_SIXray_OPIXray pliers Detection preview by DN_Medium_300_yolov8m_20t7_new No objects detected Detection preview by Segmentatation_v8_medium_train_250 No objects detected Detection preview by Segmentation_V11_large_300_train_300 No objects detected Detection preview by Segmentation_v8_large_300_train_300
Original Image: P07441.jpg
GT: pliers
pliers Detection preview by Box_v11_medium_train_SIXray_OPIXray pliers Detection preview by DN_Medium_300_yolov8m_20t7_new No objects detected Detection preview by Segmentatation_v8_medium_train_250 No objects detected Detection preview by Segmentation_V11_large_300_train_300 No objects detected Detection preview by Segmentation_v8_large_300_train_300
Original Image: P07442.jpg
GT: pliers, wrench
pliers, wrench Detection preview by Box_v11_medium_train_SIXray_OPIXray No objects detected Detection preview by DN_Medium_300_yolov8m_20t7_new wrench Detection preview by Segmentatation_v8_medium_train_250 wrench Detection preview by Segmentation_V11_large_300_train_300 wrench Detection preview by Segmentation_v8_large_300_train_300
Original Image: P07443.jpg
GT: pliers
pliers Detection preview by Box_v11_medium_train_SIXray_OPIXray pliers Detection preview by DN_Medium_300_yolov8m_20t7_new No objects detected Detection preview by Segmentatation_v8_medium_train_250 No objects detected Detection preview by Segmentation_V11_large_300_train_300 No objects detected Detection preview by Segmentation_v8_large_300_train_300
Original Image: P07444.jpg
GT: pliers
pliers Detection preview by Box_v11_medium_train_SIXray_OPIXray pliers Detection preview by DN_Medium_300_yolov8m_20t7_new No objects detected Detection preview by Segmentatation_v8_medium_train_250 No objects detected Detection preview by Segmentation_V11_large_300_train_300 No objects detected Detection preview by Segmentation_v8_large_300_train_300
Original Image: P07445.jpg
GT: pliers, wrench
pliers, wrench Detection preview by Box_v11_medium_train_SIXray_OPIXray No objects detected Detection preview by DN_Medium_300_yolov8m_20t7_new wrench Detection preview by Segmentatation_v8_medium_train_250 wrench Detection preview by Segmentation_V11_large_300_train_300 wrench Detection preview by Segmentation_v8_large_300_train_300
Original Image: P07446.jpg
GT: pliers, wrench
pliers, wrench Detection preview by Box_v11_medium_train_SIXray_OPIXray No objects detected Detection preview by DN_Medium_300_yolov8m_20t7_new wrench Detection preview by Segmentatation_v8_medium_train_250 scissor, wrench Detection preview by Segmentation_V11_large_300_train_300 wrench Detection preview by Segmentation_v8_large_300_train_300
Original Image: P07447.jpg
GT: pliers
pliers Detection preview by Box_v11_medium_train_SIXray_OPIXray No objects detected Detection preview by DN_Medium_300_yolov8m_20t7_new No objects detected Detection preview by Segmentatation_v8_medium_train_250 wrench Detection preview by Segmentation_V11_large_300_train_300 No objects detected Detection preview by Segmentation_v8_large_300_train_300
Original Image: P07448.jpg
GT: scissors
scissor Detection preview by Box_v11_medium_train_SIXray_OPIXray No objects detected Detection preview by DN_Medium_300_yolov8m_20t7_new scissor Detection preview by Segmentatation_v8_medium_train_250 scissor Detection preview by Segmentation_V11_large_300_train_300 scissor Detection preview by Segmentation_v8_large_300_train_300
Original Image: P07449.jpg
GT: scissors
scissor Detection preview by Box_v11_medium_train_SIXray_OPIXray No objects detected Detection preview by DN_Medium_300_yolov8m_20t7_new scissor Detection preview by Segmentatation_v8_medium_train_250 scissor Detection preview by Segmentation_V11_large_300_train_300 scissor Detection preview by Segmentation_v8_large_300_train_300
Original Image: P07450.jpg
GT: pliers, wrench
pliers, wrench Detection preview by Box_v11_medium_train_SIXray_OPIXray No objects detected Detection preview by DN_Medium_300_yolov8m_20t7_new wrench Detection preview by Segmentatation_v8_medium_train_250 wrench Detection preview by Segmentation_V11_large_300_train_300 wrench Detection preview by Segmentation_v8_large_300_train_300
Original Image: P07451.jpg
GT: pliers, wrench
pliers, wrench Detection preview by Box_v11_medium_train_SIXray_OPIXray No objects detected Detection preview by DN_Medium_300_yolov8m_20t7_new wrench Detection preview by Segmentatation_v8_medium_train_250 wrench Detection preview by Segmentation_V11_large_300_train_300 wrench Detection preview by Segmentation_v8_large_300_train_300
Original Image: P07452.jpg
GT: pliers, wrench
pliers, wrench Detection preview by Box_v11_medium_train_SIXray_OPIXray No objects detected Detection preview by DN_Medium_300_yolov8m_20t7_new wrench Detection preview by Segmentatation_v8_medium_train_250 wrench Detection preview by Segmentation_V11_large_300_train_300 wrench Detection preview by Segmentation_v8_large_300_train_300
Original Image: P07453.jpg
GT: pliers, wrench
pliers, wrench Detection preview by Box_v11_medium_train_SIXray_OPIXray No objects detected Detection preview by DN_Medium_300_yolov8m_20t7_new wrench Detection preview by Segmentatation_v8_medium_train_250 wrench Detection preview by Segmentation_V11_large_300_train_300 wrench Detection preview by Segmentation_v8_large_300_train_300
Original Image: P07454.jpg
GT: pliers, wrench
pliers, wrench Detection preview by Box_v11_medium_train_SIXray_OPIXray No objects detected Detection preview by DN_Medium_300_yolov8m_20t7_new wrench Detection preview by Segmentatation_v8_medium_train_250 wrench Detection preview by Segmentation_V11_large_300_train_300 wrench Detection preview by Segmentation_v8_large_300_train_300
Original Image: P07455.jpg
GT: pliers, scissors
pliers, scissor Detection preview by Box_v11_medium_train_SIXray_OPIXray No objects detected Detection preview by DN_Medium_300_yolov8m_20t7_new scissor Detection preview by Segmentatation_v8_medium_train_250 scissor Detection preview by Segmentation_V11_large_300_train_300 scissor Detection preview by Segmentation_v8_large_300_train_300
Original Image: P07456.jpg
GT: scissors, wrench
scissor, wrench Detection preview by Box_v11_medium_train_SIXray_OPIXray No objects detected Detection preview by DN_Medium_300_yolov8m_20t7_new scissor Detection preview by Segmentatation_v8_medium_train_250 scissor Detection preview by Segmentation_V11_large_300_train_300 scissor Detection preview by Segmentation_v8_large_300_train_300
Original Image: P07457.jpg
GT: pliers, wrench
pliers, wrench Detection preview by Box_v11_medium_train_SIXray_OPIXray No objects detected Detection preview by DN_Medium_300_yolov8m_20t7_new wrench Detection preview by Segmentatation_v8_medium_train_250 wrench Detection preview by Segmentation_V11_large_300_train_300 wrench Detection preview by Segmentation_v8_large_300_train_300
Original Image: P07458.jpg
GT: pliers, wrench
pliers, wrench Detection preview by Box_v11_medium_train_SIXray_OPIXray No objects detected Detection preview by DN_Medium_300_yolov8m_20t7_new wrench Detection preview by Segmentatation_v8_medium_train_250 wrench Detection preview by Segmentation_V11_large_300_train_300 wrench Detection preview by Segmentation_v8_large_300_train_300
Original Image: P07459.jpg
GT: pliers
pliers Detection preview by Box_v11_medium_train_SIXray_OPIXray No objects detected Detection preview by DN_Medium_300_yolov8m_20t7_new No objects detected Detection preview by Segmentatation_v8_medium_train_250 No objects detected Detection preview by Segmentation_V11_large_300_train_300 No objects detected Detection preview by Segmentation_v8_large_300_train_300
Original Image: P07460.jpg
GT: pliers, wrench
pliers, wrench Detection preview by Box_v11_medium_train_SIXray_OPIXray No objects detected Detection preview by DN_Medium_300_yolov8m_20t7_new wrench Detection preview by Segmentatation_v8_medium_train_250 wrench Detection preview by Segmentation_V11_large_300_train_300 wrench Detection preview by Segmentation_v8_large_300_train_300
Original Image: P07461.jpg
GT: pliers, wrench
pliers, wrench Detection preview by Box_v11_medium_train_SIXray_OPIXray No objects detected Detection preview by DN_Medium_300_yolov8m_20t7_new wrench Detection preview by Segmentatation_v8_medium_train_250 wrench Detection preview by Segmentation_V11_large_300_train_300 wrench Detection preview by Segmentation_v8_large_300_train_300
Original Image: P07462.jpg
GT: pliers, wrench
pliers, wrench Detection preview by Box_v11_medium_train_SIXray_OPIXray No objects detected Detection preview by DN_Medium_300_yolov8m_20t7_new wrench Detection preview by Segmentatation_v8_medium_train_250 wrench Detection preview by Segmentation_V11_large_300_train_300 wrench Detection preview by Segmentation_v8_large_300_train_300
Original Image: P07463.jpg
GT: pliers, wrench
pliers, wrench Detection preview by Box_v11_medium_train_SIXray_OPIXray No objects detected Detection preview by DN_Medium_300_yolov8m_20t7_new wrench Detection preview by Segmentatation_v8_medium_train_250 wrench Detection preview by Segmentation_V11_large_300_train_300 wrench Detection preview by Segmentation_v8_large_300_train_300
Original Image: P07464.jpg
GT: pliers, wrench
pliers, wrench Detection preview by Box_v11_medium_train_SIXray_OPIXray No objects detected Detection preview by DN_Medium_300_yolov8m_20t7_new wrench Detection preview by Segmentatation_v8_medium_train_250 wrench Detection preview by Segmentation_V11_large_300_train_300 wrench Detection preview by Segmentation_v8_large_300_train_300
Original Image: P07465.jpg
GT: pliers
pliers Detection preview by Box_v11_medium_train_SIXray_OPIXray No objects detected Detection preview by DN_Medium_300_yolov8m_20t7_new No objects detected Detection preview by Segmentatation_v8_medium_train_250 No objects detected Detection preview by Segmentation_V11_large_300_train_300 No objects detected Detection preview by Segmentation_v8_large_300_train_300
Original Image: P07466.jpg
GT: pliers
pliers Detection preview by Box_v11_medium_train_SIXray_OPIXray No objects detected Detection preview by DN_Medium_300_yolov8m_20t7_new No objects detected Detection preview by Segmentatation_v8_medium_train_250 No objects detected Detection preview by Segmentation_V11_large_300_train_300 No objects detected Detection preview by Segmentation_v8_large_300_train_300
Original Image: P07467.jpg
GT: pliers
pliers Detection preview by Box_v11_medium_train_SIXray_OPIXray No objects detected Detection preview by DN_Medium_300_yolov8m_20t7_new No objects detected Detection preview by Segmentatation_v8_medium_train_250 No objects detected Detection preview by Segmentation_V11_large_300_train_300 No objects detected Detection preview by Segmentation_v8_large_300_train_300
Original Image: P07468.jpg
GT: pliers
pliers Detection preview by Box_v11_medium_train_SIXray_OPIXray No objects detected Detection preview by DN_Medium_300_yolov8m_20t7_new No objects detected Detection preview by Segmentatation_v8_medium_train_250 No objects detected Detection preview by Segmentation_V11_large_300_train_300 No objects detected Detection preview by Segmentation_v8_large_300_train_300
Original Image: P07469.jpg
GT: pliers
pliers Detection preview by Box_v11_medium_train_SIXray_OPIXray No objects detected Detection preview by DN_Medium_300_yolov8m_20t7_new No objects detected Detection preview by Segmentatation_v8_medium_train_250 No objects detected Detection preview by Segmentation_V11_large_300_train_300 No objects detected Detection preview by Segmentation_v8_large_300_train_300
Original Image: P07470.jpg
GT: pliers, wrench
pliers, wrench Detection preview by Box_v11_medium_train_SIXray_OPIXray pliers Detection preview by DN_Medium_300_yolov8m_20t7_new wrench Detection preview by Segmentatation_v8_medium_train_250 wrench Detection preview by Segmentation_V11_large_300_train_300 wrench Detection preview by Segmentation_v8_large_300_train_300
Original Image: P07471.jpg
GT: pliers
pliers Detection preview by Box_v11_medium_train_SIXray_OPIXray No objects detected Detection preview by DN_Medium_300_yolov8m_20t7_new No objects detected Detection preview by Segmentatation_v8_medium_train_250 No objects detected Detection preview by Segmentation_V11_large_300_train_300 No objects detected Detection preview by Segmentation_v8_large_300_train_300
Original Image: P07472.jpg
GT: pliers
pliers Detection preview by Box_v11_medium_train_SIXray_OPIXray No objects detected Detection preview by DN_Medium_300_yolov8m_20t7_new No objects detected Detection preview by Segmentatation_v8_medium_train_250 No objects detected Detection preview by Segmentation_V11_large_300_train_300 No objects detected Detection preview by Segmentation_v8_large_300_train_300
Original Image: P07473.jpg
GT: pliers
pliers Detection preview by Box_v11_medium_train_SIXray_OPIXray No objects detected Detection preview by DN_Medium_300_yolov8m_20t7_new No objects detected Detection preview by Segmentatation_v8_medium_train_250 No objects detected Detection preview by Segmentation_V11_large_300_train_300 No objects detected Detection preview by Segmentation_v8_large_300_train_300
Original Image: P07474.jpg
GT: pliers
pliers Detection preview by Box_v11_medium_train_SIXray_OPIXray No objects detected Detection preview by DN_Medium_300_yolov8m_20t7_new No objects detected Detection preview by Segmentatation_v8_medium_train_250 No objects detected Detection preview by Segmentation_V11_large_300_train_300 No objects detected Detection preview by Segmentation_v8_large_300_train_300
Original Image: P07475.jpg
GT: pliers
pliers Detection preview by Box_v11_medium_train_SIXray_OPIXray No objects detected Detection preview by DN_Medium_300_yolov8m_20t7_new No objects detected Detection preview by Segmentatation_v8_medium_train_250 No objects detected Detection preview by Segmentation_V11_large_300_train_300 No objects detected Detection preview by Segmentation_v8_large_300_train_300
Original Image: P07476.jpg
GT: pliers
pliers Detection preview by Box_v11_medium_train_SIXray_OPIXray No objects detected Detection preview by DN_Medium_300_yolov8m_20t7_new No objects detected Detection preview by Segmentatation_v8_medium_train_250 No objects detected Detection preview by Segmentation_V11_large_300_train_300 No objects detected Detection preview by Segmentation_v8_large_300_train_300
Original Image: P07477.jpg
GT: scissors
scissor Detection preview by Box_v11_medium_train_SIXray_OPIXray No objects detected Detection preview by DN_Medium_300_yolov8m_20t7_new scissor Detection preview by Segmentatation_v8_medium_train_250 scissor Detection preview by Segmentation_V11_large_300_train_300 scissor Detection preview by Segmentation_v8_large_300_train_300
Original Image: P07478.jpg
GT: pliers
pliers Detection preview by Box_v11_medium_train_SIXray_OPIXray No objects detected Detection preview by DN_Medium_300_yolov8m_20t7_new No objects detected Detection preview by Segmentatation_v8_medium_train_250 No objects detected Detection preview by Segmentation_V11_large_300_train_300 No objects detected Detection preview by Segmentation_v8_large_300_train_300
Original Image: P07479.jpg
GT: pliers
pliers Detection preview by Box_v11_medium_train_SIXray_OPIXray No objects detected Detection preview by DN_Medium_300_yolov8m_20t7_new No objects detected Detection preview by Segmentatation_v8_medium_train_250 No objects detected Detection preview by Segmentation_V11_large_300_train_300 No objects detected Detection preview by Segmentation_v8_large_300_train_300
Original Image: P07480.jpg
GT: pliers
pliers Detection preview by Box_v11_medium_train_SIXray_OPIXray No objects detected Detection preview by DN_Medium_300_yolov8m_20t7_new No objects detected Detection preview by Segmentatation_v8_medium_train_250 wrench Detection preview by Segmentation_V11_large_300_train_300 No objects detected Detection preview by Segmentation_v8_large_300_train_300
Original Image: P07481.jpg
GT: pliers
pliers Detection preview by Box_v11_medium_train_SIXray_OPIXray No objects detected Detection preview by DN_Medium_300_yolov8m_20t7_new No objects detected Detection preview by Segmentatation_v8_medium_train_250 No objects detected Detection preview by Segmentation_V11_large_300_train_300 No objects detected Detection preview by Segmentation_v8_large_300_train_300
Original Image: P07482.jpg
GT: pliers, wrench
pliers, wrench Detection preview by Box_v11_medium_train_SIXray_OPIXray No objects detected Detection preview by DN_Medium_300_yolov8m_20t7_new wrench Detection preview by Segmentatation_v8_medium_train_250 wrench Detection preview by Segmentation_V11_large_300_train_300 wrench Detection preview by Segmentation_v8_large_300_train_300
Original Image: P07483.jpg
GT: pliers, wrench
pliers, wrench Detection preview by Box_v11_medium_train_SIXray_OPIXray No objects detected Detection preview by DN_Medium_300_yolov8m_20t7_new wrench Detection preview by Segmentatation_v8_medium_train_250 wrench Detection preview by Segmentation_V11_large_300_train_300 wrench Detection preview by Segmentation_v8_large_300_train_300
Original Image: P07484.jpg
GT: pliers, wrench
pliers, wrench Detection preview by Box_v11_medium_train_SIXray_OPIXray No objects detected Detection preview by DN_Medium_300_yolov8m_20t7_new wrench Detection preview by Segmentatation_v8_medium_train_250 wrench Detection preview by Segmentation_V11_large_300_train_300 wrench Detection preview by Segmentation_v8_large_300_train_300
Original Image: P07485.jpg
GT: pliers
pliers Detection preview by Box_v11_medium_train_SIXray_OPIXray No objects detected Detection preview by DN_Medium_300_yolov8m_20t7_new No objects detected Detection preview by Segmentatation_v8_medium_train_250 No objects detected Detection preview by Segmentation_V11_large_300_train_300 No objects detected Detection preview by Segmentation_v8_large_300_train_300
Original Image: P07486.jpg
GT: pliers
pliers Detection preview by Box_v11_medium_train_SIXray_OPIXray No objects detected Detection preview by DN_Medium_300_yolov8m_20t7_new No objects detected Detection preview by Segmentatation_v8_medium_train_250 No objects detected Detection preview by Segmentation_V11_large_300_train_300 No objects detected Detection preview by Segmentation_v8_large_300_train_300
Original Image: P07487.jpg
GT: pliers
pliers Detection preview by Box_v11_medium_train_SIXray_OPIXray No objects detected Detection preview by DN_Medium_300_yolov8m_20t7_new No objects detected Detection preview by Segmentatation_v8_medium_train_250 No objects detected Detection preview by Segmentation_V11_large_300_train_300 No objects detected Detection preview by Segmentation_v8_large_300_train_300
Original Image: P07488.jpg
GT: pliers
pliers Detection preview by Box_v11_medium_train_SIXray_OPIXray pliers Detection preview by DN_Medium_300_yolov8m_20t7_new No objects detected Detection preview by Segmentatation_v8_medium_train_250 No objects detected Detection preview by Segmentation_V11_large_300_train_300 No objects detected Detection preview by Segmentation_v8_large_300_train_300
Original Image: P07489.jpg
GT: pliers
pliers Detection preview by Box_v11_medium_train_SIXray_OPIXray No objects detected Detection preview by DN_Medium_300_yolov8m_20t7_new No objects detected Detection preview by Segmentatation_v8_medium_train_250 No objects detected Detection preview by Segmentation_V11_large_300_train_300 No objects detected Detection preview by Segmentation_v8_large_300_train_300
Original Image: P07490.jpg
GT: pliers
pliers Detection preview by Box_v11_medium_train_SIXray_OPIXray pliers Detection preview by DN_Medium_300_yolov8m_20t7_new No objects detected Detection preview by Segmentatation_v8_medium_train_250 No objects detected Detection preview by Segmentation_V11_large_300_train_300 No objects detected Detection preview by Segmentation_v8_large_300_train_300
Original Image: P07491.jpg
GT: pliers
pliers Detection preview by Box_v11_medium_train_SIXray_OPIXray pliers Detection preview by DN_Medium_300_yolov8m_20t7_new No objects detected Detection preview by Segmentatation_v8_medium_train_250 No objects detected Detection preview by Segmentation_V11_large_300_train_300 No objects detected Detection preview by Segmentation_v8_large_300_train_300
Original Image: P07492.jpg
GT: scissors
scissor Detection preview by Box_v11_medium_train_SIXray_OPIXray scissor Detection preview by DN_Medium_300_yolov8m_20t7_new scissor Detection preview by Segmentatation_v8_medium_train_250 scissor Detection preview by Segmentation_V11_large_300_train_300 scissor Detection preview by Segmentation_v8_large_300_train_300
Original Image: P07493.jpg
GT: pliers, wrench
pliers, wrench Detection preview by Box_v11_medium_train_SIXray_OPIXray No objects detected Detection preview by DN_Medium_300_yolov8m_20t7_new wrench Detection preview by Segmentatation_v8_medium_train_250 wrench Detection preview by Segmentation_V11_large_300_train_300 wrench Detection preview by Segmentation_v8_large_300_train_300
Original Image: P07494.jpg
GT: wrench
wrench Detection preview by Box_v11_medium_train_SIXray_OPIXray No objects detected Detection preview by DN_Medium_300_yolov8m_20t7_new wrench Detection preview by Segmentatation_v8_medium_train_250 wrench Detection preview by Segmentation_V11_large_300_train_300 wrench Detection preview by Segmentation_v8_large_300_train_300
Original Image: P07495.jpg
GT: wrench
wrench Detection preview by Box_v11_medium_train_SIXray_OPIXray No objects detected Detection preview by DN_Medium_300_yolov8m_20t7_new wrench Detection preview by Segmentatation_v8_medium_train_250 wrench Detection preview by Segmentation_V11_large_300_train_300 wrench Detection preview by Segmentation_v8_large_300_train_300
Original Image: P07496.jpg
GT: wrench
wrench Detection preview by Box_v11_medium_train_SIXray_OPIXray No objects detected Detection preview by DN_Medium_300_yolov8m_20t7_new wrench Detection preview by Segmentatation_v8_medium_train_250 wrench Detection preview by Segmentation_V11_large_300_train_300 wrench Detection preview by Segmentation_v8_large_300_train_300
Original Image: P07497.jpg
GT: pliers
pliers Detection preview by Box_v11_medium_train_SIXray_OPIXray No objects detected Detection preview by DN_Medium_300_yolov8m_20t7_new wrench Detection preview by Segmentatation_v8_medium_train_250 wrench Detection preview by Segmentation_V11_large_300_train_300 No objects detected Detection preview by Segmentation_v8_large_300_train_300
Original Image: P07498.jpg
GT: wrench
wrench Detection preview by Box_v11_medium_train_SIXray_OPIXray No objects detected Detection preview by DN_Medium_300_yolov8m_20t7_new wrench Detection preview by Segmentatation_v8_medium_train_250 wrench Detection preview by Segmentation_V11_large_300_train_300 wrench Detection preview by Segmentation_v8_large_300_train_300
Original Image: P07499.jpg
GT: pliers
pliers Detection preview by Box_v11_medium_train_SIXray_OPIXray No objects detected Detection preview by DN_Medium_300_yolov8m_20t7_new No objects detected Detection preview by Segmentatation_v8_medium_train_250 No objects detected Detection preview by Segmentation_V11_large_300_train_300 No objects detected Detection preview by Segmentation_v8_large_300_train_300
Original Image: P07500.jpg
GT: pliers
pliers Detection preview by Box_v11_medium_train_SIXray_OPIXray No objects detected Detection preview by DN_Medium_300_yolov8m_20t7_new No objects detected Detection preview by Segmentatation_v8_medium_train_250 No objects detected Detection preview by Segmentation_V11_large_300_train_300 No objects detected Detection preview by Segmentation_v8_large_300_train_300
Original Image: P07501.jpg
GT: pliers
pliers Detection preview by Box_v11_medium_train_SIXray_OPIXray No objects detected Detection preview by DN_Medium_300_yolov8m_20t7_new No objects detected Detection preview by Segmentatation_v8_medium_train_250 No objects detected Detection preview by Segmentation_V11_large_300_train_300 No objects detected Detection preview by Segmentation_v8_large_300_train_300
Original Image: P07502.jpg
GT: pliers
pliers Detection preview by Box_v11_medium_train_SIXray_OPIXray No objects detected Detection preview by DN_Medium_300_yolov8m_20t7_new No objects detected Detection preview by Segmentatation_v8_medium_train_250 No objects detected Detection preview by Segmentation_V11_large_300_train_300 No objects detected Detection preview by Segmentation_v8_large_300_train_300
Original Image: P07503.jpg
GT: pliers
pliers Detection preview by Box_v11_medium_train_SIXray_OPIXray No objects detected Detection preview by DN_Medium_300_yolov8m_20t7_new No objects detected Detection preview by Segmentatation_v8_medium_train_250 No objects detected Detection preview by Segmentation_V11_large_300_train_300 No objects detected Detection preview by Segmentation_v8_large_300_train_300
Original Image: P07504.jpg
GT: pliers
pliers Detection preview by Box_v11_medium_train_SIXray_OPIXray No objects detected Detection preview by DN_Medium_300_yolov8m_20t7_new No objects detected Detection preview by Segmentatation_v8_medium_train_250 No objects detected Detection preview by Segmentation_V11_large_300_train_300 No objects detected Detection preview by Segmentation_v8_large_300_train_300
Original Image: P07505.jpg
GT: pliers
pliers Detection preview by Box_v11_medium_train_SIXray_OPIXray pliers Detection preview by DN_Medium_300_yolov8m_20t7_new No objects detected Detection preview by Segmentatation_v8_medium_train_250 No objects detected Detection preview by Segmentation_V11_large_300_train_300 No objects detected Detection preview by Segmentation_v8_large_300_train_300
Original Image: P07506.jpg
GT: pliers
pliers Detection preview by Box_v11_medium_train_SIXray_OPIXray pliers Detection preview by DN_Medium_300_yolov8m_20t7_new No objects detected Detection preview by Segmentatation_v8_medium_train_250 No objects detected Detection preview by Segmentation_V11_large_300_train_300 No objects detected Detection preview by Segmentation_v8_large_300_train_300
Original Image: P07507.jpg
GT: wrench
wrench Detection preview by Box_v11_medium_train_SIXray_OPIXray No objects detected Detection preview by DN_Medium_300_yolov8m_20t7_new wrench Detection preview by Segmentatation_v8_medium_train_250 wrench Detection preview by Segmentation_V11_large_300_train_300 wrench Detection preview by Segmentation_v8_large_300_train_300
Original Image: P07508.jpg
GT: wrench
wrench Detection preview by Box_v11_medium_train_SIXray_OPIXray No objects detected Detection preview by DN_Medium_300_yolov8m_20t7_new wrench Detection preview by Segmentatation_v8_medium_train_250 wrench Detection preview by Segmentation_V11_large_300_train_300 wrench Detection preview by Segmentation_v8_large_300_train_300
Original Image: P07509.jpg
GT: wrench
wrench Detection preview by Box_v11_medium_train_SIXray_OPIXray No objects detected Detection preview by DN_Medium_300_yolov8m_20t7_new wrench Detection preview by Segmentatation_v8_medium_train_250 wrench Detection preview by Segmentation_V11_large_300_train_300 wrench Detection preview by Segmentation_v8_large_300_train_300
Original Image: P07510.jpg
GT: pliers, wrench
pliers, wrench Detection preview by Box_v11_medium_train_SIXray_OPIXray No objects detected Detection preview by DN_Medium_300_yolov8m_20t7_new wrench Detection preview by Segmentatation_v8_medium_train_250 wrench Detection preview by Segmentation_V11_large_300_train_300 wrench Detection preview by Segmentation_v8_large_300_train_300
Original Image: P07511.jpg
GT: pliers
pliers Detection preview by Box_v11_medium_train_SIXray_OPIXray pliers Detection preview by DN_Medium_300_yolov8m_20t7_new No objects detected Detection preview by Segmentatation_v8_medium_train_250 No objects detected Detection preview by Segmentation_V11_large_300_train_300 No objects detected Detection preview by Segmentation_v8_large_300_train_300
Original Image: P07512.jpg
GT: pliers
pliers Detection preview by Box_v11_medium_train_SIXray_OPIXray No objects detected Detection preview by DN_Medium_300_yolov8m_20t7_new No objects detected Detection preview by Segmentatation_v8_medium_train_250 No objects detected Detection preview by Segmentation_V11_large_300_train_300 No objects detected Detection preview by Segmentation_v8_large_300_train_300
Original Image: P07513.jpg
GT: pliers
pliers Detection preview by Box_v11_medium_train_SIXray_OPIXray No objects detected Detection preview by DN_Medium_300_yolov8m_20t7_new No objects detected Detection preview by Segmentatation_v8_medium_train_250 No objects detected Detection preview by Segmentation_V11_large_300_train_300 No objects detected Detection preview by Segmentation_v8_large_300_train_300
Original Image: P07514.jpg
GT: pliers
pliers Detection preview by Box_v11_medium_train_SIXray_OPIXray No objects detected Detection preview by DN_Medium_300_yolov8m_20t7_new No objects detected Detection preview by Segmentatation_v8_medium_train_250 No objects detected Detection preview by Segmentation_V11_large_300_train_300 No objects detected Detection preview by Segmentation_v8_large_300_train_300
Original Image: P07515.jpg
GT: pliers
pliers Detection preview by Box_v11_medium_train_SIXray_OPIXray No objects detected Detection preview by DN_Medium_300_yolov8m_20t7_new No objects detected Detection preview by Segmentatation_v8_medium_train_250 No objects detected Detection preview by Segmentation_V11_large_300_train_300 No objects detected Detection preview by Segmentation_v8_large_300_train_300
Original Image: P07516.jpg
GT: pliers
pliers Detection preview by Box_v11_medium_train_SIXray_OPIXray No objects detected Detection preview by DN_Medium_300_yolov8m_20t7_new No objects detected Detection preview by Segmentatation_v8_medium_train_250 No objects detected Detection preview by Segmentation_V11_large_300_train_300 No objects detected Detection preview by Segmentation_v8_large_300_train_300
Original Image: P07517.jpg
GT: pliers
pliers Detection preview by Box_v11_medium_train_SIXray_OPIXray No objects detected Detection preview by DN_Medium_300_yolov8m_20t7_new No objects detected Detection preview by Segmentatation_v8_medium_train_250 No objects detected Detection preview by Segmentation_V11_large_300_train_300 No objects detected Detection preview by Segmentation_v8_large_300_train_300
Original Image: P07518.jpg
GT: pliers, scissors
pliers, scissor Detection preview by Box_v11_medium_train_SIXray_OPIXray pliers Detection preview by DN_Medium_300_yolov8m_20t7_new No objects detected Detection preview by Segmentatation_v8_medium_train_250 No objects detected Detection preview by Segmentation_V11_large_300_train_300 No objects detected Detection preview by Segmentation_v8_large_300_train_300
Original Image: P07519.jpg
GT: wrench
wrench Detection preview by Box_v11_medium_train_SIXray_OPIXray No objects detected Detection preview by DN_Medium_300_yolov8m_20t7_new wrench Detection preview by Segmentatation_v8_medium_train_250 wrench Detection preview by Segmentation_V11_large_300_train_300 wrench Detection preview by Segmentation_v8_large_300_train_300
Original Image: P07520.jpg
GT: wrench
wrench Detection preview by Box_v11_medium_train_SIXray_OPIXray No objects detected Detection preview by DN_Medium_300_yolov8m_20t7_new wrench Detection preview by Segmentatation_v8_medium_train_250 wrench Detection preview by Segmentation_V11_large_300_train_300 wrench Detection preview by Segmentation_v8_large_300_train_300
Original Image: P07521.jpg
GT: pliers
pliers Detection preview by Box_v11_medium_train_SIXray_OPIXray No objects detected Detection preview by DN_Medium_300_yolov8m_20t7_new No objects detected Detection preview by Segmentatation_v8_medium_train_250 No objects detected Detection preview by Segmentation_V11_large_300_train_300 No objects detected Detection preview by Segmentation_v8_large_300_train_300
Original Image: P07522.jpg
GT: pliers, wrench
pliers, wrench Detection preview by Box_v11_medium_train_SIXray_OPIXray No objects detected Detection preview by DN_Medium_300_yolov8m_20t7_new wrench Detection preview by Segmentatation_v8_medium_train_250 wrench Detection preview by Segmentation_V11_large_300_train_300 wrench Detection preview by Segmentation_v8_large_300_train_300
Original Image: P07523.jpg
GT: pliers, wrench
pliers, wrench Detection preview by Box_v11_medium_train_SIXray_OPIXray No objects detected Detection preview by DN_Medium_300_yolov8m_20t7_new wrench Detection preview by Segmentatation_v8_medium_train_250 wrench Detection preview by Segmentation_V11_large_300_train_300 wrench Detection preview by Segmentation_v8_large_300_train_300
Original Image: P07524.jpg
GT: pliers
pliers Detection preview by Box_v11_medium_train_SIXray_OPIXray No objects detected Detection preview by DN_Medium_300_yolov8m_20t7_new No objects detected Detection preview by Segmentatation_v8_medium_train_250 No objects detected Detection preview by Segmentation_V11_large_300_train_300 No objects detected Detection preview by Segmentation_v8_large_300_train_300
Original Image: P07525.jpg
GT: pliers
pliers Detection preview by Box_v11_medium_train_SIXray_OPIXray No objects detected Detection preview by DN_Medium_300_yolov8m_20t7_new No objects detected Detection preview by Segmentatation_v8_medium_train_250 No objects detected Detection preview by Segmentation_V11_large_300_train_300 No objects detected Detection preview by Segmentation_v8_large_300_train_300
Original Image: P07526.jpg
GT: pliers
pliers Detection preview by Box_v11_medium_train_SIXray_OPIXray No objects detected Detection preview by DN_Medium_300_yolov8m_20t7_new No objects detected Detection preview by Segmentatation_v8_medium_train_250 No objects detected Detection preview by Segmentation_V11_large_300_train_300 No objects detected Detection preview by Segmentation_v8_large_300_train_300
Original Image: P07527.jpg
GT: pliers
pliers Detection preview by Box_v11_medium_train_SIXray_OPIXray No objects detected Detection preview by DN_Medium_300_yolov8m_20t7_new No objects detected Detection preview by Segmentatation_v8_medium_train_250 No objects detected Detection preview by Segmentation_V11_large_300_train_300 No objects detected Detection preview by Segmentation_v8_large_300_train_300
Original Image: P07528.jpg
GT: pliers
pliers Detection preview by Box_v11_medium_train_SIXray_OPIXray No objects detected Detection preview by DN_Medium_300_yolov8m_20t7_new No objects detected Detection preview by Segmentatation_v8_medium_train_250 No objects detected Detection preview by Segmentation_V11_large_300_train_300 No objects detected Detection preview by Segmentation_v8_large_300_train_300
Original Image: P07529.jpg
GT: scissors
scissor Detection preview by Box_v11_medium_train_SIXray_OPIXray No objects detected Detection preview by DN_Medium_300_yolov8m_20t7_new scissor Detection preview by Segmentatation_v8_medium_train_250 scissor Detection preview by Segmentation_V11_large_300_train_300 scissor Detection preview by Segmentation_v8_large_300_train_300
Original Image: P07530.jpg
GT: pliers, wrench
pliers, wrench Detection preview by Box_v11_medium_train_SIXray_OPIXray No objects detected Detection preview by DN_Medium_300_yolov8m_20t7_new wrench Detection preview by Segmentatation_v8_medium_train_250 wrench Detection preview by Segmentation_V11_large_300_train_300 wrench Detection preview by Segmentation_v8_large_300_train_300
Original Image: P07531.jpg
GT: wrench
wrench Detection preview by Box_v11_medium_train_SIXray_OPIXray No objects detected Detection preview by DN_Medium_300_yolov8m_20t7_new wrench Detection preview by Segmentatation_v8_medium_train_250 wrench Detection preview by Segmentation_V11_large_300_train_300 wrench Detection preview by Segmentation_v8_large_300_train_300
Original Image: P07532.jpg
GT: wrench
wrench Detection preview by Box_v11_medium_train_SIXray_OPIXray No objects detected Detection preview by DN_Medium_300_yolov8m_20t7_new wrench Detection preview by Segmentatation_v8_medium_train_250 wrench Detection preview by Segmentation_V11_large_300_train_300 wrench Detection preview by Segmentation_v8_large_300_train_300
Original Image: P07533.jpg
GT: wrench
wrench Detection preview by Box_v11_medium_train_SIXray_OPIXray No objects detected Detection preview by DN_Medium_300_yolov8m_20t7_new wrench Detection preview by Segmentatation_v8_medium_train_250 wrench Detection preview by Segmentation_V11_large_300_train_300 wrench Detection preview by Segmentation_v8_large_300_train_300
Original Image: P07534.jpg
GT: wrench
wrench Detection preview by Box_v11_medium_train_SIXray_OPIXray No objects detected Detection preview by DN_Medium_300_yolov8m_20t7_new wrench Detection preview by Segmentatation_v8_medium_train_250 wrench Detection preview by Segmentation_V11_large_300_train_300 wrench Detection preview by Segmentation_v8_large_300_train_300
Original Image: P07535.jpg
GT: wrench
wrench Detection preview by Box_v11_medium_train_SIXray_OPIXray No objects detected Detection preview by DN_Medium_300_yolov8m_20t7_new wrench Detection preview by Segmentatation_v8_medium_train_250 wrench Detection preview by Segmentation_V11_large_300_train_300 wrench Detection preview by Segmentation_v8_large_300_train_300
Original Image: P07536.jpg
GT: wrench
wrench Detection preview by Box_v11_medium_train_SIXray_OPIXray No objects detected Detection preview by DN_Medium_300_yolov8m_20t7_new wrench Detection preview by Segmentatation_v8_medium_train_250 wrench Detection preview by Segmentation_V11_large_300_train_300 wrench Detection preview by Segmentation_v8_large_300_train_300
Original Image: P07537.jpg
GT: wrench
wrench Detection preview by Box_v11_medium_train_SIXray_OPIXray No objects detected Detection preview by DN_Medium_300_yolov8m_20t7_new wrench Detection preview by Segmentatation_v8_medium_train_250 wrench Detection preview by Segmentation_V11_large_300_train_300 wrench Detection preview by Segmentation_v8_large_300_train_300
Original Image: P07538.jpg
GT: scissors
scissor Detection preview by Box_v11_medium_train_SIXray_OPIXray No objects detected Detection preview by DN_Medium_300_yolov8m_20t7_new scissor Detection preview by Segmentatation_v8_medium_train_250 scissor Detection preview by Segmentation_V11_large_300_train_300 No objects detected Detection preview by Segmentation_v8_large_300_train_300
Original Image: P07539.jpg
GT: pliers
pliers Detection preview by Box_v11_medium_train_SIXray_OPIXray No objects detected Detection preview by DN_Medium_300_yolov8m_20t7_new No objects detected Detection preview by Segmentatation_v8_medium_train_250 No objects detected Detection preview by Segmentation_V11_large_300_train_300 No objects detected Detection preview by Segmentation_v8_large_300_train_300
Original Image: P07540.jpg
GT: pliers, wrench
pliers, wrench Detection preview by Box_v11_medium_train_SIXray_OPIXray No objects detected Detection preview by DN_Medium_300_yolov8m_20t7_new wrench Detection preview by Segmentatation_v8_medium_train_250 wrench Detection preview by Segmentation_V11_large_300_train_300 wrench Detection preview by Segmentation_v8_large_300_train_300
Original Image: P07541.jpg
GT: pliers, wrench
pliers, wrench Detection preview by Box_v11_medium_train_SIXray_OPIXray No objects detected Detection preview by DN_Medium_300_yolov8m_20t7_new wrench Detection preview by Segmentatation_v8_medium_train_250 wrench Detection preview by Segmentation_V11_large_300_train_300 wrench Detection preview by Segmentation_v8_large_300_train_300
Original Image: P07542.jpg
GT: pliers
pliers Detection preview by Box_v11_medium_train_SIXray_OPIXray No objects detected Detection preview by DN_Medium_300_yolov8m_20t7_new No objects detected Detection preview by Segmentatation_v8_medium_train_250 No objects detected Detection preview by Segmentation_V11_large_300_train_300 No objects detected Detection preview by Segmentation_v8_large_300_train_300
Original Image: P07543.jpg
GT: pliers
pliers Detection preview by Box_v11_medium_train_SIXray_OPIXray No objects detected Detection preview by DN_Medium_300_yolov8m_20t7_new No objects detected Detection preview by Segmentatation_v8_medium_train_250 No objects detected Detection preview by Segmentation_V11_large_300_train_300 No objects detected Detection preview by Segmentation_v8_large_300_train_300
Original Image: P07544.jpg
GT: pliers, wrench
pliers, wrench Detection preview by Box_v11_medium_train_SIXray_OPIXray No objects detected Detection preview by DN_Medium_300_yolov8m_20t7_new No objects detected Detection preview by Segmentatation_v8_medium_train_250 No objects detected Detection preview by Segmentation_V11_large_300_train_300 wrench Detection preview by Segmentation_v8_large_300_train_300
Original Image: P07545.jpg
GT: pliers, wrench
pliers, wrench Detection preview by Box_v11_medium_train_SIXray_OPIXray No objects detected Detection preview by DN_Medium_300_yolov8m_20t7_new No objects detected Detection preview by Segmentatation_v8_medium_train_250 No objects detected Detection preview by Segmentation_V11_large_300_train_300 wrench Detection preview by Segmentation_v8_large_300_train_300
Original Image: P07546.jpg
GT: pliers
pliers Detection preview by Box_v11_medium_train_SIXray_OPIXray pliers Detection preview by DN_Medium_300_yolov8m_20t7_new No objects detected Detection preview by Segmentatation_v8_medium_train_250 No objects detected Detection preview by Segmentation_V11_large_300_train_300 No objects detected Detection preview by Segmentation_v8_large_300_train_300
Original Image: P07547.jpg
GT: pliers
pliers Detection preview by Box_v11_medium_train_SIXray_OPIXray No objects detected Detection preview by DN_Medium_300_yolov8m_20t7_new No objects detected Detection preview by Segmentatation_v8_medium_train_250 No objects detected Detection preview by Segmentation_V11_large_300_train_300 No objects detected Detection preview by Segmentation_v8_large_300_train_300
Original Image: P07548.jpg
GT: pliers
pliers Detection preview by Box_v11_medium_train_SIXray_OPIXray No objects detected Detection preview by DN_Medium_300_yolov8m_20t7_new No objects detected Detection preview by Segmentatation_v8_medium_train_250 No objects detected Detection preview by Segmentation_V11_large_300_train_300 No objects detected Detection preview by Segmentation_v8_large_300_train_300
Original Image: P07549.jpg
GT: pliers
pliers Detection preview by Box_v11_medium_train_SIXray_OPIXray No objects detected Detection preview by DN_Medium_300_yolov8m_20t7_new No objects detected Detection preview by Segmentatation_v8_medium_train_250 No objects detected Detection preview by Segmentation_V11_large_300_train_300 No objects detected Detection preview by Segmentation_v8_large_300_train_300
Original Image: P07550.jpg
GT: pliers
pliers Detection preview by Box_v11_medium_train_SIXray_OPIXray No objects detected Detection preview by DN_Medium_300_yolov8m_20t7_new No objects detected Detection preview by Segmentatation_v8_medium_train_250 No objects detected Detection preview by Segmentation_V11_large_300_train_300 No objects detected Detection preview by Segmentation_v8_large_300_train_300
Original Image: P07551.jpg
GT: pliers
pliers Detection preview by Box_v11_medium_train_SIXray_OPIXray No objects detected Detection preview by DN_Medium_300_yolov8m_20t7_new No objects detected Detection preview by Segmentatation_v8_medium_train_250 No objects detected Detection preview by Segmentation_V11_large_300_train_300 No objects detected Detection preview by Segmentation_v8_large_300_train_300
Original Image: P07552.jpg
GT: pliers
pliers Detection preview by Box_v11_medium_train_SIXray_OPIXray No objects detected Detection preview by DN_Medium_300_yolov8m_20t7_new No objects detected Detection preview by Segmentatation_v8_medium_train_250 No objects detected Detection preview by Segmentation_V11_large_300_train_300 No objects detected Detection preview by Segmentation_v8_large_300_train_300
Original Image: P07553.jpg
GT: pliers
pliers Detection preview by Box_v11_medium_train_SIXray_OPIXray No objects detected Detection preview by DN_Medium_300_yolov8m_20t7_new No objects detected Detection preview by Segmentatation_v8_medium_train_250 No objects detected Detection preview by Segmentation_V11_large_300_train_300 No objects detected Detection preview by Segmentation_v8_large_300_train_300
Original Image: P07554.jpg
GT: pliers
pliers Detection preview by Box_v11_medium_train_SIXray_OPIXray No objects detected Detection preview by DN_Medium_300_yolov8m_20t7_new No objects detected Detection preview by Segmentatation_v8_medium_train_250 No objects detected Detection preview by Segmentation_V11_large_300_train_300 No objects detected Detection preview by Segmentation_v8_large_300_train_300
Original Image: P07555.jpg
GT: pliers
pliers Detection preview by Box_v11_medium_train_SIXray_OPIXray No objects detected Detection preview by DN_Medium_300_yolov8m_20t7_new No objects detected Detection preview by Segmentatation_v8_medium_train_250 No objects detected Detection preview by Segmentation_V11_large_300_train_300 No objects detected Detection preview by Segmentation_v8_large_300_train_300
Original Image: P07556.jpg
GT: scissors
scissor Detection preview by Box_v11_medium_train_SIXray_OPIXray No objects detected Detection preview by DN_Medium_300_yolov8m_20t7_new scissor Detection preview by Segmentatation_v8_medium_train_250 scissor Detection preview by Segmentation_V11_large_300_train_300 scissor Detection preview by Segmentation_v8_large_300_train_300
Original Image: P07557.jpg
GT: pliers
pliers Detection preview by Box_v11_medium_train_SIXray_OPIXray No objects detected Detection preview by DN_Medium_300_yolov8m_20t7_new No objects detected Detection preview by Segmentatation_v8_medium_train_250 No objects detected Detection preview by Segmentation_V11_large_300_train_300 No objects detected Detection preview by Segmentation_v8_large_300_train_300
Original Image: P07558.jpg
GT: pliers
pliers Detection preview by Box_v11_medium_train_SIXray_OPIXray No objects detected Detection preview by DN_Medium_300_yolov8m_20t7_new No objects detected Detection preview by Segmentatation_v8_medium_train_250 No objects detected Detection preview by Segmentation_V11_large_300_train_300 No objects detected Detection preview by Segmentation_v8_large_300_train_300
Original Image: P07559.jpg
GT: pliers
pliers Detection preview by Box_v11_medium_train_SIXray_OPIXray No objects detected Detection preview by DN_Medium_300_yolov8m_20t7_new No objects detected Detection preview by Segmentatation_v8_medium_train_250 No objects detected Detection preview by Segmentation_V11_large_300_train_300 No objects detected Detection preview by Segmentation_v8_large_300_train_300
Original Image: P07560.jpg
GT: pliers
pliers Detection preview by Box_v11_medium_train_SIXray_OPIXray No objects detected Detection preview by DN_Medium_300_yolov8m_20t7_new No objects detected Detection preview by Segmentatation_v8_medium_train_250 No objects detected Detection preview by Segmentation_V11_large_300_train_300 No objects detected Detection preview by Segmentation_v8_large_300_train_300
Original Image: P07561.jpg
GT: pliers
pliers Detection preview by Box_v11_medium_train_SIXray_OPIXray No objects detected Detection preview by DN_Medium_300_yolov8m_20t7_new No objects detected Detection preview by Segmentatation_v8_medium_train_250 No objects detected Detection preview by Segmentation_V11_large_300_train_300 No objects detected Detection preview by Segmentation_v8_large_300_train_300
Original Image: P07562.jpg
GT: pliers
pliers Detection preview by Box_v11_medium_train_SIXray_OPIXray No objects detected Detection preview by DN_Medium_300_yolov8m_20t7_new No objects detected Detection preview by Segmentatation_v8_medium_train_250 No objects detected Detection preview by Segmentation_V11_large_300_train_300 No objects detected Detection preview by Segmentation_v8_large_300_train_300
Original Image: P07563.jpg
GT: wrench
wrench Detection preview by Box_v11_medium_train_SIXray_OPIXray No objects detected Detection preview by DN_Medium_300_yolov8m_20t7_new wrench Detection preview by Segmentatation_v8_medium_train_250 wrench Detection preview by Segmentation_V11_large_300_train_300 wrench Detection preview by Segmentation_v8_large_300_train_300
Original Image: P07564.jpg
GT: wrench
wrench Detection preview by Box_v11_medium_train_SIXray_OPIXray No objects detected Detection preview by DN_Medium_300_yolov8m_20t7_new wrench Detection preview by Segmentatation_v8_medium_train_250 wrench Detection preview by Segmentation_V11_large_300_train_300 wrench Detection preview by Segmentation_v8_large_300_train_300
Original Image: P07565.jpg
GT: wrench
wrench Detection preview by Box_v11_medium_train_SIXray_OPIXray No objects detected Detection preview by DN_Medium_300_yolov8m_20t7_new wrench Detection preview by Segmentatation_v8_medium_train_250 wrench Detection preview by Segmentation_V11_large_300_train_300 wrench Detection preview by Segmentation_v8_large_300_train_300
Original Image: P07566.jpg
GT: wrench
wrench Detection preview by Box_v11_medium_train_SIXray_OPIXray No objects detected Detection preview by DN_Medium_300_yolov8m_20t7_new wrench Detection preview by Segmentatation_v8_medium_train_250 wrench Detection preview by Segmentation_V11_large_300_train_300 wrench Detection preview by Segmentation_v8_large_300_train_300
Original Image: P07567.jpg
GT: pliers
pliers Detection preview by Box_v11_medium_train_SIXray_OPIXray No objects detected Detection preview by DN_Medium_300_yolov8m_20t7_new No objects detected Detection preview by Segmentatation_v8_medium_train_250 No objects detected Detection preview by Segmentation_V11_large_300_train_300 No objects detected Detection preview by Segmentation_v8_large_300_train_300
Original Image: P07568.jpg
GT: pliers
pliers Detection preview by Box_v11_medium_train_SIXray_OPIXray No objects detected Detection preview by DN_Medium_300_yolov8m_20t7_new No objects detected Detection preview by Segmentatation_v8_medium_train_250 No objects detected Detection preview by Segmentation_V11_large_300_train_300 No objects detected Detection preview by Segmentation_v8_large_300_train_300
Original Image: P07569.jpg
GT: pliers
pliers Detection preview by Box_v11_medium_train_SIXray_OPIXray pliers Detection preview by DN_Medium_300_yolov8m_20t7_new No objects detected Detection preview by Segmentatation_v8_medium_train_250 No objects detected Detection preview by Segmentation_V11_large_300_train_300 No objects detected Detection preview by Segmentation_v8_large_300_train_300
Original Image: P07570.jpg
GT: pliers
pliers Detection preview by Box_v11_medium_train_SIXray_OPIXray No objects detected Detection preview by DN_Medium_300_yolov8m_20t7_new No objects detected Detection preview by Segmentatation_v8_medium_train_250 No objects detected Detection preview by Segmentation_V11_large_300_train_300 No objects detected Detection preview by Segmentation_v8_large_300_train_300
Original Image: P07571.jpg
GT: pliers
pliers Detection preview by Box_v11_medium_train_SIXray_OPIXray scissor Detection preview by DN_Medium_300_yolov8m_20t7_new No objects detected Detection preview by Segmentatation_v8_medium_train_250 No objects detected Detection preview by Segmentation_V11_large_300_train_300 No objects detected Detection preview by Segmentation_v8_large_300_train_300
Original Image: P07572.jpg
GT: pliers
pliers Detection preview by Box_v11_medium_train_SIXray_OPIXray No objects detected Detection preview by DN_Medium_300_yolov8m_20t7_new No objects detected Detection preview by Segmentatation_v8_medium_train_250 No objects detected Detection preview by Segmentation_V11_large_300_train_300 No objects detected Detection preview by Segmentation_v8_large_300_train_300
Original Image: P07573.jpg
GT: pliers
pliers Detection preview by Box_v11_medium_train_SIXray_OPIXray No objects detected Detection preview by DN_Medium_300_yolov8m_20t7_new No objects detected Detection preview by Segmentatation_v8_medium_train_250 No objects detected Detection preview by Segmentation_V11_large_300_train_300 No objects detected Detection preview by Segmentation_v8_large_300_train_300
Original Image: P07574.jpg
GT: wrench
wrench Detection preview by Box_v11_medium_train_SIXray_OPIXray No objects detected Detection preview by DN_Medium_300_yolov8m_20t7_new wrench Detection preview by Segmentatation_v8_medium_train_250 wrench Detection preview by Segmentation_V11_large_300_train_300 wrench Detection preview by Segmentation_v8_large_300_train_300
Original Image: P07575.jpg
GT: wrench
wrench Detection preview by Box_v11_medium_train_SIXray_OPIXray No objects detected Detection preview by DN_Medium_300_yolov8m_20t7_new wrench Detection preview by Segmentatation_v8_medium_train_250 wrench Detection preview by Segmentation_V11_large_300_train_300 wrench Detection preview by Segmentation_v8_large_300_train_300
Original Image: P07576.jpg
GT: pliers
pliers Detection preview by Box_v11_medium_train_SIXray_OPIXray pliers Detection preview by DN_Medium_300_yolov8m_20t7_new No objects detected Detection preview by Segmentatation_v8_medium_train_250 No objects detected Detection preview by Segmentation_V11_large_300_train_300 No objects detected Detection preview by Segmentation_v8_large_300_train_300
Original Image: P07577.jpg
GT: pliers
pliers Detection preview by Box_v11_medium_train_SIXray_OPIXray pliers Detection preview by DN_Medium_300_yolov8m_20t7_new No objects detected Detection preview by Segmentatation_v8_medium_train_250 wrench Detection preview by Segmentation_V11_large_300_train_300 No objects detected Detection preview by Segmentation_v8_large_300_train_300
Original Image: P07578.jpg
GT: pliers, scissors, wrench
pliers, scissor, wrench Detection preview by Box_v11_medium_train_SIXray_OPIXray No objects detected Detection preview by DN_Medium_300_yolov8m_20t7_new scissor, wrench Detection preview by Segmentatation_v8_medium_train_250 scissor, wrench Detection preview by Segmentation_V11_large_300_train_300 scissor, wrench Detection preview by Segmentation_v8_large_300_train_300
Original Image: P07579.jpg
GT: pliers, scissors, wrench
pliers, scissor, wrench Detection preview by Box_v11_medium_train_SIXray_OPIXray No objects detected Detection preview by DN_Medium_300_yolov8m_20t7_new scissor, wrench Detection preview by Segmentatation_v8_medium_train_250 scissor, wrench Detection preview by Segmentation_V11_large_300_train_300 scissor, wrench Detection preview by Segmentation_v8_large_300_train_300
Original Image: P07580.jpg
GT: pliers, scissors, wrench
pliers, scissor, wrench Detection preview by Box_v11_medium_train_SIXray_OPIXray No objects detected Detection preview by DN_Medium_300_yolov8m_20t7_new scissor, wrench Detection preview by Segmentatation_v8_medium_train_250 scissor, wrench Detection preview by Segmentation_V11_large_300_train_300 scissor, wrench Detection preview by Segmentation_v8_large_300_train_300
Original Image: P07581.jpg
GT: pliers
pliers Detection preview by Box_v11_medium_train_SIXray_OPIXray No objects detected Detection preview by DN_Medium_300_yolov8m_20t7_new No objects detected Detection preview by Segmentatation_v8_medium_train_250 No objects detected Detection preview by Segmentation_V11_large_300_train_300 No objects detected Detection preview by Segmentation_v8_large_300_train_300
Original Image: P07582.jpg
GT: pliers
pliers Detection preview by Box_v11_medium_train_SIXray_OPIXray No objects detected Detection preview by DN_Medium_300_yolov8m_20t7_new No objects detected Detection preview by Segmentatation_v8_medium_train_250 No objects detected Detection preview by Segmentation_V11_large_300_train_300 No objects detected Detection preview by Segmentation_v8_large_300_train_300
Original Image: P07583.jpg
GT: pliers
pliers Detection preview by Box_v11_medium_train_SIXray_OPIXray No objects detected Detection preview by DN_Medium_300_yolov8m_20t7_new No objects detected Detection preview by Segmentatation_v8_medium_train_250 No objects detected Detection preview by Segmentation_V11_large_300_train_300 No objects detected Detection preview by Segmentation_v8_large_300_train_300
Original Image: P07584.jpg
GT: pliers
pliers Detection preview by Box_v11_medium_train_SIXray_OPIXray pliers Detection preview by DN_Medium_300_yolov8m_20t7_new No objects detected Detection preview by Segmentatation_v8_medium_train_250 No objects detected Detection preview by Segmentation_V11_large_300_train_300 No objects detected Detection preview by Segmentation_v8_large_300_train_300
Original Image: P07585.jpg
GT: pliers
pliers Detection preview by Box_v11_medium_train_SIXray_OPIXray No objects detected Detection preview by DN_Medium_300_yolov8m_20t7_new No objects detected Detection preview by Segmentatation_v8_medium_train_250 No objects detected Detection preview by Segmentation_V11_large_300_train_300 No objects detected Detection preview by Segmentation_v8_large_300_train_300
Original Image: P07586.jpg
GT: pliers
pliers Detection preview by Box_v11_medium_train_SIXray_OPIXray No objects detected Detection preview by DN_Medium_300_yolov8m_20t7_new No objects detected Detection preview by Segmentatation_v8_medium_train_250 No objects detected Detection preview by Segmentation_V11_large_300_train_300 No objects detected Detection preview by Segmentation_v8_large_300_train_300
Original Image: P07587.jpg
GT: pliers
pliers Detection preview by Box_v11_medium_train_SIXray_OPIXray No objects detected Detection preview by DN_Medium_300_yolov8m_20t7_new No objects detected Detection preview by Segmentatation_v8_medium_train_250 No objects detected Detection preview by Segmentation_V11_large_300_train_300 No objects detected Detection preview by Segmentation_v8_large_300_train_300
Original Image: P07588.jpg
GT: pliers
pliers Detection preview by Box_v11_medium_train_SIXray_OPIXray No objects detected Detection preview by DN_Medium_300_yolov8m_20t7_new No objects detected Detection preview by Segmentatation_v8_medium_train_250 No objects detected Detection preview by Segmentation_V11_large_300_train_300 No objects detected Detection preview by Segmentation_v8_large_300_train_300
Original Image: P07589.jpg
GT: pliers
pliers Detection preview by Box_v11_medium_train_SIXray_OPIXray No objects detected Detection preview by DN_Medium_300_yolov8m_20t7_new No objects detected Detection preview by Segmentatation_v8_medium_train_250 No objects detected Detection preview by Segmentation_V11_large_300_train_300 No objects detected Detection preview by Segmentation_v8_large_300_train_300
Original Image: P07590.jpg
GT: pliers
pliers Detection preview by Box_v11_medium_train_SIXray_OPIXray No objects detected Detection preview by DN_Medium_300_yolov8m_20t7_new No objects detected Detection preview by Segmentatation_v8_medium_train_250 No objects detected Detection preview by Segmentation_V11_large_300_train_300 No objects detected Detection preview by Segmentation_v8_large_300_train_300
Original Image: P07591.jpg
GT: pliers
pliers Detection preview by Box_v11_medium_train_SIXray_OPIXray No objects detected Detection preview by DN_Medium_300_yolov8m_20t7_new No objects detected Detection preview by Segmentatation_v8_medium_train_250 No objects detected Detection preview by Segmentation_V11_large_300_train_300 No objects detected Detection preview by Segmentation_v8_large_300_train_300
Original Image: P07592.jpg
GT: pliers
pliers Detection preview by Box_v11_medium_train_SIXray_OPIXray No objects detected Detection preview by DN_Medium_300_yolov8m_20t7_new No objects detected Detection preview by Segmentatation_v8_medium_train_250 No objects detected Detection preview by Segmentation_V11_large_300_train_300 No objects detected Detection preview by Segmentation_v8_large_300_train_300
Original Image: P07593.jpg
GT: pliers
pliers Detection preview by Box_v11_medium_train_SIXray_OPIXray No objects detected Detection preview by DN_Medium_300_yolov8m_20t7_new No objects detected Detection preview by Segmentatation_v8_medium_train_250 No objects detected Detection preview by Segmentation_V11_large_300_train_300 No objects detected Detection preview by Segmentation_v8_large_300_train_300
Original Image: P07594.jpg
GT: pliers
pliers Detection preview by Box_v11_medium_train_SIXray_OPIXray No objects detected Detection preview by DN_Medium_300_yolov8m_20t7_new No objects detected Detection preview by Segmentatation_v8_medium_train_250 No objects detected Detection preview by Segmentation_V11_large_300_train_300 No objects detected Detection preview by Segmentation_v8_large_300_train_300
Original Image: P07595.jpg
GT: pliers
pliers Detection preview by Box_v11_medium_train_SIXray_OPIXray No objects detected Detection preview by DN_Medium_300_yolov8m_20t7_new No objects detected Detection preview by Segmentatation_v8_medium_train_250 No objects detected Detection preview by Segmentation_V11_large_300_train_300 No objects detected Detection preview by Segmentation_v8_large_300_train_300
Original Image: P07596.jpg
GT: pliers
pliers Detection preview by Box_v11_medium_train_SIXray_OPIXray No objects detected Detection preview by DN_Medium_300_yolov8m_20t7_new No objects detected Detection preview by Segmentatation_v8_medium_train_250 No objects detected Detection preview by Segmentation_V11_large_300_train_300 No objects detected Detection preview by Segmentation_v8_large_300_train_300
Original Image: P07597.jpg
GT: wrench
wrench Detection preview by Box_v11_medium_train_SIXray_OPIXray No objects detected Detection preview by DN_Medium_300_yolov8m_20t7_new wrench Detection preview by Segmentatation_v8_medium_train_250 wrench Detection preview by Segmentation_V11_large_300_train_300 wrench Detection preview by Segmentation_v8_large_300_train_300
Original Image: P07598.jpg
GT: pliers
pliers Detection preview by Box_v11_medium_train_SIXray_OPIXray No objects detected Detection preview by DN_Medium_300_yolov8m_20t7_new No objects detected Detection preview by Segmentatation_v8_medium_train_250 No objects detected Detection preview by Segmentation_V11_large_300_train_300 No objects detected Detection preview by Segmentation_v8_large_300_train_300
Original Image: P07599.jpg
GT: pliers
pliers Detection preview by Box_v11_medium_train_SIXray_OPIXray No objects detected Detection preview by DN_Medium_300_yolov8m_20t7_new No objects detected Detection preview by Segmentatation_v8_medium_train_250 No objects detected Detection preview by Segmentation_V11_large_300_train_300 No objects detected Detection preview by Segmentation_v8_large_300_train_300
Original Image: P07600.jpg
GT: pliers
pliers Detection preview by Box_v11_medium_train_SIXray_OPIXray No objects detected Detection preview by DN_Medium_300_yolov8m_20t7_new No objects detected Detection preview by Segmentatation_v8_medium_train_250 No objects detected Detection preview by Segmentation_V11_large_300_train_300 No objects detected Detection preview by Segmentation_v8_large_300_train_300
Original Image: P07601.jpg
GT: scissors
scissor Detection preview by Box_v11_medium_train_SIXray_OPIXray No objects detected Detection preview by DN_Medium_300_yolov8m_20t7_new scissor Detection preview by Segmentatation_v8_medium_train_250 scissor Detection preview by Segmentation_V11_large_300_train_300 scissor Detection preview by Segmentation_v8_large_300_train_300
Original Image: P07602.jpg
GT: scissors
scissor Detection preview by Box_v11_medium_train_SIXray_OPIXray No objects detected Detection preview by DN_Medium_300_yolov8m_20t7_new scissor Detection preview by Segmentatation_v8_medium_train_250 scissor Detection preview by Segmentation_V11_large_300_train_300 scissor Detection preview by Segmentation_v8_large_300_train_300
Original Image: P07603.jpg
GT: scissors
scissor Detection preview by Box_v11_medium_train_SIXray_OPIXray No objects detected Detection preview by DN_Medium_300_yolov8m_20t7_new scissor Detection preview by Segmentatation_v8_medium_train_250 scissor Detection preview by Segmentation_V11_large_300_train_300 scissor Detection preview by Segmentation_v8_large_300_train_300
Original Image: P07604.jpg
GT: scissors
scissor Detection preview by Box_v11_medium_train_SIXray_OPIXray scissor Detection preview by DN_Medium_300_yolov8m_20t7_new scissor Detection preview by Segmentatation_v8_medium_train_250 scissor Detection preview by Segmentation_V11_large_300_train_300 scissor Detection preview by Segmentation_v8_large_300_train_300
Original Image: P07605.jpg
GT: scissors
scissor Detection preview by Box_v11_medium_train_SIXray_OPIXray scissor Detection preview by DN_Medium_300_yolov8m_20t7_new scissor Detection preview by Segmentatation_v8_medium_train_250 scissor Detection preview by Segmentation_V11_large_300_train_300 scissor Detection preview by Segmentation_v8_large_300_train_300
Original Image: P07606.jpg
GT: scissors
scissor Detection preview by Box_v11_medium_train_SIXray_OPIXray No objects detected Detection preview by DN_Medium_300_yolov8m_20t7_new scissor Detection preview by Segmentatation_v8_medium_train_250 scissor Detection preview by Segmentation_V11_large_300_train_300 scissor Detection preview by Segmentation_v8_large_300_train_300
Original Image: P07607.jpg
GT: pliers
pliers Detection preview by Box_v11_medium_train_SIXray_OPIXray pliers Detection preview by DN_Medium_300_yolov8m_20t7_new No objects detected Detection preview by Segmentatation_v8_medium_train_250 No objects detected Detection preview by Segmentation_V11_large_300_train_300 No objects detected Detection preview by Segmentation_v8_large_300_train_300
Original Image: P07608.jpg
GT: pliers
pliers Detection preview by Box_v11_medium_train_SIXray_OPIXray No objects detected Detection preview by DN_Medium_300_yolov8m_20t7_new No objects detected Detection preview by Segmentatation_v8_medium_train_250 No objects detected Detection preview by Segmentation_V11_large_300_train_300 No objects detected Detection preview by Segmentation_v8_large_300_train_300
Original Image: P07609.jpg
GT: pliers
pliers Detection preview by Box_v11_medium_train_SIXray_OPIXray pliers Detection preview by DN_Medium_300_yolov8m_20t7_new No objects detected Detection preview by Segmentatation_v8_medium_train_250 No objects detected Detection preview by Segmentation_V11_large_300_train_300 No objects detected Detection preview by Segmentation_v8_large_300_train_300
Original Image: P07610.jpg
GT: pliers
pliers Detection preview by Box_v11_medium_train_SIXray_OPIXray No objects detected Detection preview by DN_Medium_300_yolov8m_20t7_new No objects detected Detection preview by Segmentatation_v8_medium_train_250 No objects detected Detection preview by Segmentation_V11_large_300_train_300 No objects detected Detection preview by Segmentation_v8_large_300_train_300
Original Image: P07611.jpg
GT: pliers, wrench
pliers, wrench Detection preview by Box_v11_medium_train_SIXray_OPIXray No objects detected Detection preview by DN_Medium_300_yolov8m_20t7_new wrench Detection preview by Segmentatation_v8_medium_train_250 wrench Detection preview by Segmentation_V11_large_300_train_300 wrench Detection preview by Segmentation_v8_large_300_train_300
Original Image: P07612.jpg
GT: pliers, wrench
pliers, wrench Detection preview by Box_v11_medium_train_SIXray_OPIXray No objects detected Detection preview by DN_Medium_300_yolov8m_20t7_new wrench Detection preview by Segmentatation_v8_medium_train_250 wrench Detection preview by Segmentation_V11_large_300_train_300 wrench Detection preview by Segmentation_v8_large_300_train_300
Original Image: P07613.jpg
GT: pliers, wrench
pliers, wrench Detection preview by Box_v11_medium_train_SIXray_OPIXray No objects detected Detection preview by DN_Medium_300_yolov8m_20t7_new wrench Detection preview by Segmentatation_v8_medium_train_250 wrench Detection preview by Segmentation_V11_large_300_train_300 wrench Detection preview by Segmentation_v8_large_300_train_300
Original Image: P07614.jpg
GT: pliers, wrench
pliers, wrench Detection preview by Box_v11_medium_train_SIXray_OPIXray No objects detected Detection preview by DN_Medium_300_yolov8m_20t7_new wrench Detection preview by Segmentatation_v8_medium_train_250 wrench Detection preview by Segmentation_V11_large_300_train_300 wrench Detection preview by Segmentation_v8_large_300_train_300
Original Image: P07615.jpg
GT: pliers, wrench
pliers, wrench Detection preview by Box_v11_medium_train_SIXray_OPIXray No objects detected Detection preview by DN_Medium_300_yolov8m_20t7_new wrench Detection preview by Segmentatation_v8_medium_train_250 wrench Detection preview by Segmentation_V11_large_300_train_300 wrench Detection preview by Segmentation_v8_large_300_train_300
Original Image: P07616.jpg
GT: pliers, scissors
pliers, scissor Detection preview by Box_v11_medium_train_SIXray_OPIXray No objects detected Detection preview by DN_Medium_300_yolov8m_20t7_new scissor Detection preview by Segmentatation_v8_medium_train_250 scissor Detection preview by Segmentation_V11_large_300_train_300 scissor Detection preview by Segmentation_v8_large_300_train_300
Original Image: P07617.jpg
GT: pliers, scissors
pliers, scissor Detection preview by Box_v11_medium_train_SIXray_OPIXray No objects detected Detection preview by DN_Medium_300_yolov8m_20t7_new scissor Detection preview by Segmentatation_v8_medium_train_250 scissor Detection preview by Segmentation_V11_large_300_train_300 scissor Detection preview by Segmentation_v8_large_300_train_300
Original Image: P07618.jpg
GT: wrench
wrench Detection preview by Box_v11_medium_train_SIXray_OPIXray No objects detected Detection preview by DN_Medium_300_yolov8m_20t7_new wrench Detection preview by Segmentatation_v8_medium_train_250 wrench Detection preview by Segmentation_V11_large_300_train_300 wrench Detection preview by Segmentation_v8_large_300_train_300
Original Image: P07619.jpg
GT: wrench
wrench Detection preview by Box_v11_medium_train_SIXray_OPIXray No objects detected Detection preview by DN_Medium_300_yolov8m_20t7_new wrench Detection preview by Segmentatation_v8_medium_train_250 wrench Detection preview by Segmentation_V11_large_300_train_300 wrench Detection preview by Segmentation_v8_large_300_train_300
Original Image: P07620.jpg
GT: pliers, wrench
pliers, wrench Detection preview by Box_v11_medium_train_SIXray_OPIXray No objects detected Detection preview by DN_Medium_300_yolov8m_20t7_new wrench Detection preview by Segmentatation_v8_medium_train_250 wrench Detection preview by Segmentation_V11_large_300_train_300 wrench Detection preview by Segmentation_v8_large_300_train_300
Original Image: P07621.jpg
GT: pliers, wrench
pliers, wrench Detection preview by Box_v11_medium_train_SIXray_OPIXray No objects detected Detection preview by DN_Medium_300_yolov8m_20t7_new wrench Detection preview by Segmentatation_v8_medium_train_250 wrench Detection preview by Segmentation_V11_large_300_train_300 wrench Detection preview by Segmentation_v8_large_300_train_300
Original Image: P07622.jpg
GT: pliers, wrench
pliers, wrench Detection preview by Box_v11_medium_train_SIXray_OPIXray No objects detected Detection preview by DN_Medium_300_yolov8m_20t7_new wrench Detection preview by Segmentatation_v8_medium_train_250 wrench Detection preview by Segmentation_V11_large_300_train_300 wrench Detection preview by Segmentation_v8_large_300_train_300
Original Image: P07623.jpg
GT: scissors
scissor Detection preview by Box_v11_medium_train_SIXray_OPIXray scissor Detection preview by DN_Medium_300_yolov8m_20t7_new scissor Detection preview by Segmentatation_v8_medium_train_250 scissor Detection preview by Segmentation_V11_large_300_train_300 scissor Detection preview by Segmentation_v8_large_300_train_300
Original Image: P07624.jpg
GT: scissors
scissor Detection preview by Box_v11_medium_train_SIXray_OPIXray scissor Detection preview by DN_Medium_300_yolov8m_20t7_new scissor Detection preview by Segmentatation_v8_medium_train_250 scissor Detection preview by Segmentation_V11_large_300_train_300 scissor Detection preview by Segmentation_v8_large_300_train_300
Original Image: P07625.jpg
GT: scissors
scissor Detection preview by Box_v11_medium_train_SIXray_OPIXray No objects detected Detection preview by DN_Medium_300_yolov8m_20t7_new scissor Detection preview by Segmentatation_v8_medium_train_250 scissor Detection preview by Segmentation_V11_large_300_train_300 scissor Detection preview by Segmentation_v8_large_300_train_300
Original Image: P07626.jpg
GT: scissors
scissor Detection preview by Box_v11_medium_train_SIXray_OPIXray No objects detected Detection preview by DN_Medium_300_yolov8m_20t7_new scissor Detection preview by Segmentatation_v8_medium_train_250 scissor Detection preview by Segmentation_V11_large_300_train_300 scissor Detection preview by Segmentation_v8_large_300_train_300
Original Image: P07627.jpg
GT: pliers, wrench
pliers, wrench Detection preview by Box_v11_medium_train_SIXray_OPIXray No objects detected Detection preview by DN_Medium_300_yolov8m_20t7_new wrench Detection preview by Segmentatation_v8_medium_train_250 wrench Detection preview by Segmentation_V11_large_300_train_300 wrench Detection preview by Segmentation_v8_large_300_train_300
Original Image: P07628.jpg
GT: wrench
wrench Detection preview by Box_v11_medium_train_SIXray_OPIXray No objects detected Detection preview by DN_Medium_300_yolov8m_20t7_new wrench Detection preview by Segmentatation_v8_medium_train_250 wrench Detection preview by Segmentation_V11_large_300_train_300 wrench Detection preview by Segmentation_v8_large_300_train_300
Original Image: P07629.jpg
GT: pliers
pliers Detection preview by Box_v11_medium_train_SIXray_OPIXray No objects detected Detection preview by DN_Medium_300_yolov8m_20t7_new No objects detected Detection preview by Segmentatation_v8_medium_train_250 No objects detected Detection preview by Segmentation_V11_large_300_train_300 No objects detected Detection preview by Segmentation_v8_large_300_train_300
Original Image: P07630.jpg
GT: pliers
pliers Detection preview by Box_v11_medium_train_SIXray_OPIXray No objects detected Detection preview by DN_Medium_300_yolov8m_20t7_new No objects detected Detection preview by Segmentatation_v8_medium_train_250 No objects detected Detection preview by Segmentation_V11_large_300_train_300 No objects detected Detection preview by Segmentation_v8_large_300_train_300
Original Image: P07631.jpg
GT: pliers
pliers Detection preview by Box_v11_medium_train_SIXray_OPIXray No objects detected Detection preview by DN_Medium_300_yolov8m_20t7_new No objects detected Detection preview by Segmentatation_v8_medium_train_250 No objects detected Detection preview by Segmentation_V11_large_300_train_300 No objects detected Detection preview by Segmentation_v8_large_300_train_300
Original Image: P07632.jpg
GT: pliers
pliers Detection preview by Box_v11_medium_train_SIXray_OPIXray No objects detected Detection preview by DN_Medium_300_yolov8m_20t7_new No objects detected Detection preview by Segmentatation_v8_medium_train_250 No objects detected Detection preview by Segmentation_V11_large_300_train_300 No objects detected Detection preview by Segmentation_v8_large_300_train_300
Original Image: P07633.jpg
GT: pliers
pliers Detection preview by Box_v11_medium_train_SIXray_OPIXray No objects detected Detection preview by DN_Medium_300_yolov8m_20t7_new No objects detected Detection preview by Segmentatation_v8_medium_train_250 No objects detected Detection preview by Segmentation_V11_large_300_train_300 No objects detected Detection preview by Segmentation_v8_large_300_train_300
Original Image: P07634.jpg
GT: pliers, wrench
pliers, wrench Detection preview by Box_v11_medium_train_SIXray_OPIXray No objects detected Detection preview by DN_Medium_300_yolov8m_20t7_new wrench Detection preview by Segmentatation_v8_medium_train_250 wrench Detection preview by Segmentation_V11_large_300_train_300 wrench Detection preview by Segmentation_v8_large_300_train_300
Original Image: P07635.jpg
GT: pliers, wrench
pliers, wrench Detection preview by Box_v11_medium_train_SIXray_OPIXray No objects detected Detection preview by DN_Medium_300_yolov8m_20t7_new wrench Detection preview by Segmentatation_v8_medium_train_250 wrench Detection preview by Segmentation_V11_large_300_train_300 wrench Detection preview by Segmentation_v8_large_300_train_300
Original Image: P07636.jpg
GT: pliers, wrench
pliers, wrench Detection preview by Box_v11_medium_train_SIXray_OPIXray No objects detected Detection preview by DN_Medium_300_yolov8m_20t7_new wrench Detection preview by Segmentatation_v8_medium_train_250 wrench Detection preview by Segmentation_V11_large_300_train_300 wrench Detection preview by Segmentation_v8_large_300_train_300
Original Image: P07637.jpg
GT: pliers, wrench
pliers, wrench Detection preview by Box_v11_medium_train_SIXray_OPIXray No objects detected Detection preview by DN_Medium_300_yolov8m_20t7_new wrench Detection preview by Segmentatation_v8_medium_train_250 wrench Detection preview by Segmentation_V11_large_300_train_300 wrench Detection preview by Segmentation_v8_large_300_train_300
Original Image: P07638.jpg
GT: wrench
wrench Detection preview by Box_v11_medium_train_SIXray_OPIXray No objects detected Detection preview by DN_Medium_300_yolov8m_20t7_new wrench Detection preview by Segmentatation_v8_medium_train_250 wrench Detection preview by Segmentation_V11_large_300_train_300 wrench Detection preview by Segmentation_v8_large_300_train_300
Original Image: P07639.jpg
GT: wrench
wrench Detection preview by Box_v11_medium_train_SIXray_OPIXray No objects detected Detection preview by DN_Medium_300_yolov8m_20t7_new wrench Detection preview by Segmentatation_v8_medium_train_250 wrench Detection preview by Segmentation_V11_large_300_train_300 wrench Detection preview by Segmentation_v8_large_300_train_300
Original Image: P07640.jpg
GT: wrench
wrench Detection preview by Box_v11_medium_train_SIXray_OPIXray No objects detected Detection preview by DN_Medium_300_yolov8m_20t7_new wrench Detection preview by Segmentatation_v8_medium_train_250 wrench Detection preview by Segmentation_V11_large_300_train_300 wrench Detection preview by Segmentation_v8_large_300_train_300
Original Image: P07641.jpg
GT: wrench
wrench Detection preview by Box_v11_medium_train_SIXray_OPIXray No objects detected Detection preview by DN_Medium_300_yolov8m_20t7_new wrench Detection preview by Segmentatation_v8_medium_train_250 wrench Detection preview by Segmentation_V11_large_300_train_300 wrench Detection preview by Segmentation_v8_large_300_train_300
Original Image: P07642.jpg
GT: wrench
wrench Detection preview by Box_v11_medium_train_SIXray_OPIXray No objects detected Detection preview by DN_Medium_300_yolov8m_20t7_new wrench Detection preview by Segmentatation_v8_medium_train_250 wrench Detection preview by Segmentation_V11_large_300_train_300 wrench Detection preview by Segmentation_v8_large_300_train_300
Original Image: P07643.jpg
GT: wrench
wrench Detection preview by Box_v11_medium_train_SIXray_OPIXray No objects detected Detection preview by DN_Medium_300_yolov8m_20t7_new wrench Detection preview by Segmentatation_v8_medium_train_250 wrench Detection preview by Segmentation_V11_large_300_train_300 wrench Detection preview by Segmentation_v8_large_300_train_300
Original Image: P07644.jpg
GT: wrench
wrench Detection preview by Box_v11_medium_train_SIXray_OPIXray No objects detected Detection preview by DN_Medium_300_yolov8m_20t7_new wrench Detection preview by Segmentatation_v8_medium_train_250 wrench Detection preview by Segmentation_V11_large_300_train_300 wrench Detection preview by Segmentation_v8_large_300_train_300
Original Image: P07645.jpg
GT: scissors
scissor Detection preview by Box_v11_medium_train_SIXray_OPIXray No objects detected Detection preview by DN_Medium_300_yolov8m_20t7_new scissor Detection preview by Segmentatation_v8_medium_train_250 scissor Detection preview by Segmentation_V11_large_300_train_300 scissor Detection preview by Segmentation_v8_large_300_train_300
Original Image: P07646.jpg
GT: scissors
scissor Detection preview by Box_v11_medium_train_SIXray_OPIXray No objects detected Detection preview by DN_Medium_300_yolov8m_20t7_new scissor Detection preview by Segmentatation_v8_medium_train_250 scissor Detection preview by Segmentation_V11_large_300_train_300 scissor Detection preview by Segmentation_v8_large_300_train_300
Original Image: P07647.jpg
GT: scissors
scissor Detection preview by Box_v11_medium_train_SIXray_OPIXray No objects detected Detection preview by DN_Medium_300_yolov8m_20t7_new scissor Detection preview by Segmentatation_v8_medium_train_250 scissor Detection preview by Segmentation_V11_large_300_train_300 scissor Detection preview by Segmentation_v8_large_300_train_300
Original Image: P07648.jpg
GT: scissors
scissor Detection preview by Box_v11_medium_train_SIXray_OPIXray No objects detected Detection preview by DN_Medium_300_yolov8m_20t7_new scissor Detection preview by Segmentatation_v8_medium_train_250 scissor Detection preview by Segmentation_V11_large_300_train_300 scissor Detection preview by Segmentation_v8_large_300_train_300
Original Image: P07649.jpg
GT: scissors
scissor Detection preview by Box_v11_medium_train_SIXray_OPIXray No objects detected Detection preview by DN_Medium_300_yolov8m_20t7_new scissor Detection preview by Segmentatation_v8_medium_train_250 scissor Detection preview by Segmentation_V11_large_300_train_300 scissor Detection preview by Segmentation_v8_large_300_train_300
Original Image: P07650.jpg
GT: pliers, wrench
pliers, wrench Detection preview by Box_v11_medium_train_SIXray_OPIXray No objects detected Detection preview by DN_Medium_300_yolov8m_20t7_new wrench Detection preview by Segmentatation_v8_medium_train_250 wrench Detection preview by Segmentation_V11_large_300_train_300 wrench Detection preview by Segmentation_v8_large_300_train_300
Original Image: P07651.jpg
GT: pliers, wrench
pliers, wrench Detection preview by Box_v11_medium_train_SIXray_OPIXray No objects detected Detection preview by DN_Medium_300_yolov8m_20t7_new wrench Detection preview by Segmentatation_v8_medium_train_250 wrench Detection preview by Segmentation_V11_large_300_train_300 wrench Detection preview by Segmentation_v8_large_300_train_300
Original Image: P07652.jpg
GT: pliers, wrench
pliers, wrench Detection preview by Box_v11_medium_train_SIXray_OPIXray No objects detected Detection preview by DN_Medium_300_yolov8m_20t7_new wrench Detection preview by Segmentatation_v8_medium_train_250 wrench Detection preview by Segmentation_V11_large_300_train_300 wrench Detection preview by Segmentation_v8_large_300_train_300
Original Image: P07653.jpg
GT: pliers, wrench
pliers, wrench Detection preview by Box_v11_medium_train_SIXray_OPIXray No objects detected Detection preview by DN_Medium_300_yolov8m_20t7_new wrench Detection preview by Segmentatation_v8_medium_train_250 wrench Detection preview by Segmentation_V11_large_300_train_300 wrench Detection preview by Segmentation_v8_large_300_train_300
Original Image: P07654.jpg
GT: pliers, wrench
pliers, wrench Detection preview by Box_v11_medium_train_SIXray_OPIXray No objects detected Detection preview by DN_Medium_300_yolov8m_20t7_new wrench Detection preview by Segmentatation_v8_medium_train_250 wrench Detection preview by Segmentation_V11_large_300_train_300 wrench Detection preview by Segmentation_v8_large_300_train_300
Original Image: P07655.jpg
GT: pliers, wrench
pliers, wrench Detection preview by Box_v11_medium_train_SIXray_OPIXray No objects detected Detection preview by DN_Medium_300_yolov8m_20t7_new wrench Detection preview by Segmentatation_v8_medium_train_250 wrench Detection preview by Segmentation_V11_large_300_train_300 wrench Detection preview by Segmentation_v8_large_300_train_300
Original Image: P07656.jpg
GT: pliers
pliers Detection preview by Box_v11_medium_train_SIXray_OPIXray No objects detected Detection preview by DN_Medium_300_yolov8m_20t7_new No objects detected Detection preview by Segmentatation_v8_medium_train_250 No objects detected Detection preview by Segmentation_V11_large_300_train_300 No objects detected Detection preview by Segmentation_v8_large_300_train_300
Original Image: P07657.jpg
GT: pliers
pliers Detection preview by Box_v11_medium_train_SIXray_OPIXray No objects detected Detection preview by DN_Medium_300_yolov8m_20t7_new No objects detected Detection preview by Segmentatation_v8_medium_train_250 No objects detected Detection preview by Segmentation_V11_large_300_train_300 No objects detected Detection preview by Segmentation_v8_large_300_train_300
Original Image: P07658.jpg
GT: pliers
pliers Detection preview by Box_v11_medium_train_SIXray_OPIXray No objects detected Detection preview by DN_Medium_300_yolov8m_20t7_new No objects detected Detection preview by Segmentatation_v8_medium_train_250 No objects detected Detection preview by Segmentation_V11_large_300_train_300 No objects detected Detection preview by Segmentation_v8_large_300_train_300
Original Image: P07659.jpg
GT: pliers
pliers Detection preview by Box_v11_medium_train_SIXray_OPIXray No objects detected Detection preview by DN_Medium_300_yolov8m_20t7_new No objects detected Detection preview by Segmentatation_v8_medium_train_250 No objects detected Detection preview by Segmentation_V11_large_300_train_300 No objects detected Detection preview by Segmentation_v8_large_300_train_300
Original Image: P07660.jpg
GT: pliers
pliers Detection preview by Box_v11_medium_train_SIXray_OPIXray No objects detected Detection preview by DN_Medium_300_yolov8m_20t7_new No objects detected Detection preview by Segmentatation_v8_medium_train_250 No objects detected Detection preview by Segmentation_V11_large_300_train_300 No objects detected Detection preview by Segmentation_v8_large_300_train_300
Original Image: P07661.jpg
GT: pliers
pliers Detection preview by Box_v11_medium_train_SIXray_OPIXray No objects detected Detection preview by DN_Medium_300_yolov8m_20t7_new No objects detected Detection preview by Segmentatation_v8_medium_train_250 No objects detected Detection preview by Segmentation_V11_large_300_train_300 No objects detected Detection preview by Segmentation_v8_large_300_train_300
Original Image: P07662.jpg
GT: pliers
pliers Detection preview by Box_v11_medium_train_SIXray_OPIXray No objects detected Detection preview by DN_Medium_300_yolov8m_20t7_new No objects detected Detection preview by Segmentatation_v8_medium_train_250 No objects detected Detection preview by Segmentation_V11_large_300_train_300 No objects detected Detection preview by Segmentation_v8_large_300_train_300
Original Image: P07663.jpg
GT: pliers
pliers Detection preview by Box_v11_medium_train_SIXray_OPIXray No objects detected Detection preview by DN_Medium_300_yolov8m_20t7_new No objects detected Detection preview by Segmentatation_v8_medium_train_250 No objects detected Detection preview by Segmentation_V11_large_300_train_300 No objects detected Detection preview by Segmentation_v8_large_300_train_300
Original Image: P07664.jpg
GT: pliers
pliers Detection preview by Box_v11_medium_train_SIXray_OPIXray No objects detected Detection preview by DN_Medium_300_yolov8m_20t7_new No objects detected Detection preview by Segmentatation_v8_medium_train_250 No objects detected Detection preview by Segmentation_V11_large_300_train_300 No objects detected Detection preview by Segmentation_v8_large_300_train_300
Original Image: P07665.jpg
GT: pliers
pliers Detection preview by Box_v11_medium_train_SIXray_OPIXray No objects detected Detection preview by DN_Medium_300_yolov8m_20t7_new No objects detected Detection preview by Segmentatation_v8_medium_train_250 No objects detected Detection preview by Segmentation_V11_large_300_train_300 No objects detected Detection preview by Segmentation_v8_large_300_train_300
Original Image: P07666.jpg
GT: pliers
pliers Detection preview by Box_v11_medium_train_SIXray_OPIXray No objects detected Detection preview by DN_Medium_300_yolov8m_20t7_new No objects detected Detection preview by Segmentatation_v8_medium_train_250 No objects detected Detection preview by Segmentation_V11_large_300_train_300 No objects detected Detection preview by Segmentation_v8_large_300_train_300
Original Image: P07667.jpg
GT: pliers
pliers Detection preview by Box_v11_medium_train_SIXray_OPIXray No objects detected Detection preview by DN_Medium_300_yolov8m_20t7_new No objects detected Detection preview by Segmentatation_v8_medium_train_250 No objects detected Detection preview by Segmentation_V11_large_300_train_300 No objects detected Detection preview by Segmentation_v8_large_300_train_300
Original Image: P07668.jpg
GT: pliers
pliers Detection preview by Box_v11_medium_train_SIXray_OPIXray No objects detected Detection preview by DN_Medium_300_yolov8m_20t7_new No objects detected Detection preview by Segmentatation_v8_medium_train_250 No objects detected Detection preview by Segmentation_V11_large_300_train_300 No objects detected Detection preview by Segmentation_v8_large_300_train_300
Original Image: P07669.jpg
GT: pliers, wrench
pliers, wrench Detection preview by Box_v11_medium_train_SIXray_OPIXray No objects detected Detection preview by DN_Medium_300_yolov8m_20t7_new wrench Detection preview by Segmentatation_v8_medium_train_250 wrench Detection preview by Segmentation_V11_large_300_train_300 wrench Detection preview by Segmentation_v8_large_300_train_300
Original Image: P07670.jpg
GT: pliers, wrench
pliers, wrench Detection preview by Box_v11_medium_train_SIXray_OPIXray No objects detected Detection preview by DN_Medium_300_yolov8m_20t7_new wrench Detection preview by Segmentatation_v8_medium_train_250 wrench Detection preview by Segmentation_V11_large_300_train_300 wrench Detection preview by Segmentation_v8_large_300_train_300
Original Image: P07671.jpg
GT: pliers, wrench
pliers, wrench Detection preview by Box_v11_medium_train_SIXray_OPIXray No objects detected Detection preview by DN_Medium_300_yolov8m_20t7_new wrench Detection preview by Segmentatation_v8_medium_train_250 wrench Detection preview by Segmentation_V11_large_300_train_300 wrench Detection preview by Segmentation_v8_large_300_train_300
Original Image: P07672.jpg
GT: pliers, wrench
pliers, wrench Detection preview by Box_v11_medium_train_SIXray_OPIXray No objects detected Detection preview by DN_Medium_300_yolov8m_20t7_new wrench Detection preview by Segmentatation_v8_medium_train_250 wrench Detection preview by Segmentation_V11_large_300_train_300 wrench Detection preview by Segmentation_v8_large_300_train_300
Original Image: P07673.jpg
GT: pliers
pliers Detection preview by Box_v11_medium_train_SIXray_OPIXray No objects detected Detection preview by DN_Medium_300_yolov8m_20t7_new No objects detected Detection preview by Segmentatation_v8_medium_train_250 No objects detected Detection preview by Segmentation_V11_large_300_train_300 No objects detected Detection preview by Segmentation_v8_large_300_train_300
Original Image: P07674.jpg
GT: pliers
pliers Detection preview by Box_v11_medium_train_SIXray_OPIXray No objects detected Detection preview by DN_Medium_300_yolov8m_20t7_new No objects detected Detection preview by Segmentatation_v8_medium_train_250 wrench Detection preview by Segmentation_V11_large_300_train_300 No objects detected Detection preview by Segmentation_v8_large_300_train_300
Original Image: P07675.jpg
GT: pliers
pliers Detection preview by Box_v11_medium_train_SIXray_OPIXray pliers Detection preview by DN_Medium_300_yolov8m_20t7_new No objects detected Detection preview by Segmentatation_v8_medium_train_250 No objects detected Detection preview by Segmentation_V11_large_300_train_300 No objects detected Detection preview by Segmentation_v8_large_300_train_300
Original Image: P07676.jpg
GT: pliers
pliers Detection preview by Box_v11_medium_train_SIXray_OPIXray No objects detected Detection preview by DN_Medium_300_yolov8m_20t7_new No objects detected Detection preview by Segmentatation_v8_medium_train_250 No objects detected Detection preview by Segmentation_V11_large_300_train_300 No objects detected Detection preview by Segmentation_v8_large_300_train_300
Original Image: P07677.jpg
GT: pliers
pliers Detection preview by Box_v11_medium_train_SIXray_OPIXray No objects detected Detection preview by DN_Medium_300_yolov8m_20t7_new No objects detected Detection preview by Segmentatation_v8_medium_train_250 No objects detected Detection preview by Segmentation_V11_large_300_train_300 No objects detected Detection preview by Segmentation_v8_large_300_train_300
Original Image: P07678.jpg
GT: pliers
pliers Detection preview by Box_v11_medium_train_SIXray_OPIXray No objects detected Detection preview by DN_Medium_300_yolov8m_20t7_new No objects detected Detection preview by Segmentatation_v8_medium_train_250 No objects detected Detection preview by Segmentation_V11_large_300_train_300 No objects detected Detection preview by Segmentation_v8_large_300_train_300
Original Image: P07679.jpg
GT: pliers
pliers Detection preview by Box_v11_medium_train_SIXray_OPIXray No objects detected Detection preview by DN_Medium_300_yolov8m_20t7_new No objects detected Detection preview by Segmentatation_v8_medium_train_250 No objects detected Detection preview by Segmentation_V11_large_300_train_300 No objects detected Detection preview by Segmentation_v8_large_300_train_300
Original Image: P07680.jpg
GT: pliers
pliers Detection preview by Box_v11_medium_train_SIXray_OPIXray No objects detected Detection preview by DN_Medium_300_yolov8m_20t7_new No objects detected Detection preview by Segmentatation_v8_medium_train_250 No objects detected Detection preview by Segmentation_V11_large_300_train_300 No objects detected Detection preview by Segmentation_v8_large_300_train_300
Original Image: P07681.jpg
GT: pliers
pliers Detection preview by Box_v11_medium_train_SIXray_OPIXray No objects detected Detection preview by DN_Medium_300_yolov8m_20t7_new No objects detected Detection preview by Segmentatation_v8_medium_train_250 No objects detected Detection preview by Segmentation_V11_large_300_train_300 No objects detected Detection preview by Segmentation_v8_large_300_train_300
Original Image: P07682.jpg
GT: wrench
wrench Detection preview by Box_v11_medium_train_SIXray_OPIXray No objects detected Detection preview by DN_Medium_300_yolov8m_20t7_new wrench Detection preview by Segmentatation_v8_medium_train_250 wrench Detection preview by Segmentation_V11_large_300_train_300 wrench Detection preview by Segmentation_v8_large_300_train_300
Original Image: P07683.jpg
GT: wrench
wrench Detection preview by Box_v11_medium_train_SIXray_OPIXray No objects detected Detection preview by DN_Medium_300_yolov8m_20t7_new wrench Detection preview by Segmentatation_v8_medium_train_250 wrench Detection preview by Segmentation_V11_large_300_train_300 wrench Detection preview by Segmentation_v8_large_300_train_300
Original Image: P07684.jpg
GT: wrench
wrench Detection preview by Box_v11_medium_train_SIXray_OPIXray No objects detected Detection preview by DN_Medium_300_yolov8m_20t7_new wrench Detection preview by Segmentatation_v8_medium_train_250 wrench Detection preview by Segmentation_V11_large_300_train_300 wrench Detection preview by Segmentation_v8_large_300_train_300
Original Image: P07685.jpg
GT: wrench
wrench Detection preview by Box_v11_medium_train_SIXray_OPIXray No objects detected Detection preview by DN_Medium_300_yolov8m_20t7_new wrench Detection preview by Segmentatation_v8_medium_train_250 wrench Detection preview by Segmentation_V11_large_300_train_300 wrench Detection preview by Segmentation_v8_large_300_train_300
Original Image: P07686.jpg
GT: wrench
wrench Detection preview by Box_v11_medium_train_SIXray_OPIXray No objects detected Detection preview by DN_Medium_300_yolov8m_20t7_new wrench Detection preview by Segmentatation_v8_medium_train_250 wrench Detection preview by Segmentation_V11_large_300_train_300 wrench Detection preview by Segmentation_v8_large_300_train_300
Original Image: P07687.jpg
GT: pliers
pliers Detection preview by Box_v11_medium_train_SIXray_OPIXray No objects detected Detection preview by DN_Medium_300_yolov8m_20t7_new No objects detected Detection preview by Segmentatation_v8_medium_train_250 No objects detected Detection preview by Segmentation_V11_large_300_train_300 No objects detected Detection preview by Segmentation_v8_large_300_train_300
Original Image: P07688.jpg
GT: pliers
pliers Detection preview by Box_v11_medium_train_SIXray_OPIXray No objects detected Detection preview by DN_Medium_300_yolov8m_20t7_new No objects detected Detection preview by Segmentatation_v8_medium_train_250 No objects detected Detection preview by Segmentation_V11_large_300_train_300 No objects detected Detection preview by Segmentation_v8_large_300_train_300
Original Image: P07689.jpg
GT: pliers
pliers Detection preview by Box_v11_medium_train_SIXray_OPIXray No objects detected Detection preview by DN_Medium_300_yolov8m_20t7_new No objects detected Detection preview by Segmentatation_v8_medium_train_250 No objects detected Detection preview by Segmentation_V11_large_300_train_300 No objects detected Detection preview by Segmentation_v8_large_300_train_300
Original Image: P07690.jpg
GT: pliers
pliers Detection preview by Box_v11_medium_train_SIXray_OPIXray No objects detected Detection preview by DN_Medium_300_yolov8m_20t7_new No objects detected Detection preview by Segmentatation_v8_medium_train_250 No objects detected Detection preview by Segmentation_V11_large_300_train_300 No objects detected Detection preview by Segmentation_v8_large_300_train_300
Original Image: P07691.jpg
GT: pliers
pliers Detection preview by Box_v11_medium_train_SIXray_OPIXray pliers Detection preview by DN_Medium_300_yolov8m_20t7_new No objects detected Detection preview by Segmentatation_v8_medium_train_250 No objects detected Detection preview by Segmentation_V11_large_300_train_300 No objects detected Detection preview by Segmentation_v8_large_300_train_300
Original Image: P07692.jpg
GT: pliers
pliers Detection preview by Box_v11_medium_train_SIXray_OPIXray pliers Detection preview by DN_Medium_300_yolov8m_20t7_new No objects detected Detection preview by Segmentatation_v8_medium_train_250 No objects detected Detection preview by Segmentation_V11_large_300_train_300 No objects detected Detection preview by Segmentation_v8_large_300_train_300
Original Image: P07693.jpg
GT: pliers
pliers Detection preview by Box_v11_medium_train_SIXray_OPIXray pliers Detection preview by DN_Medium_300_yolov8m_20t7_new No objects detected Detection preview by Segmentatation_v8_medium_train_250 No objects detected Detection preview by Segmentation_V11_large_300_train_300 No objects detected Detection preview by Segmentation_v8_large_300_train_300
Original Image: P07694.jpg
GT: pliers
pliers Detection preview by Box_v11_medium_train_SIXray_OPIXray pliers Detection preview by DN_Medium_300_yolov8m_20t7_new No objects detected Detection preview by Segmentatation_v8_medium_train_250 No objects detected Detection preview by Segmentation_V11_large_300_train_300 No objects detected Detection preview by Segmentation_v8_large_300_train_300
Original Image: P07695.jpg
GT: pliers
pliers Detection preview by Box_v11_medium_train_SIXray_OPIXray No objects detected Detection preview by DN_Medium_300_yolov8m_20t7_new No objects detected Detection preview by Segmentatation_v8_medium_train_250 No objects detected Detection preview by Segmentation_V11_large_300_train_300 No objects detected Detection preview by Segmentation_v8_large_300_train_300
Original Image: P07696.jpg
GT: pliers
pliers Detection preview by Box_v11_medium_train_SIXray_OPIXray No objects detected Detection preview by DN_Medium_300_yolov8m_20t7_new No objects detected Detection preview by Segmentatation_v8_medium_train_250 No objects detected Detection preview by Segmentation_V11_large_300_train_300 No objects detected Detection preview by Segmentation_v8_large_300_train_300
Original Image: P07697.jpg
GT: pliers
pliers Detection preview by Box_v11_medium_train_SIXray_OPIXray No objects detected Detection preview by DN_Medium_300_yolov8m_20t7_new wrench Detection preview by Segmentatation_v8_medium_train_250 No objects detected Detection preview by Segmentation_V11_large_300_train_300 No objects detected Detection preview by Segmentation_v8_large_300_train_300
Original Image: P07698.jpg
GT: pliers, wrench
pliers, wrench Detection preview by Box_v11_medium_train_SIXray_OPIXray No objects detected Detection preview by DN_Medium_300_yolov8m_20t7_new No objects detected Detection preview by Segmentatation_v8_medium_train_250 No objects detected Detection preview by Segmentation_V11_large_300_train_300 wrench Detection preview by Segmentation_v8_large_300_train_300
Original Image: P07699.jpg
GT: pliers, wrench
pliers, wrench Detection preview by Box_v11_medium_train_SIXray_OPIXray No objects detected Detection preview by DN_Medium_300_yolov8m_20t7_new wrench Detection preview by Segmentatation_v8_medium_train_250 No objects detected Detection preview by Segmentation_V11_large_300_train_300 wrench Detection preview by Segmentation_v8_large_300_train_300
Original Image: P07700.jpg
GT: pliers, wrench
pliers, wrench Detection preview by Box_v11_medium_train_SIXray_OPIXray No objects detected Detection preview by DN_Medium_300_yolov8m_20t7_new wrench Detection preview by Segmentatation_v8_medium_train_250 wrench Detection preview by Segmentation_V11_large_300_train_300 wrench Detection preview by Segmentation_v8_large_300_train_300
Original Image: P07701.jpg
GT: wrench
wrench Detection preview by Box_v11_medium_train_SIXray_OPIXray No objects detected Detection preview by DN_Medium_300_yolov8m_20t7_new wrench Detection preview by Segmentatation_v8_medium_train_250 wrench Detection preview by Segmentation_V11_large_300_train_300 wrench Detection preview by Segmentation_v8_large_300_train_300
Original Image: P07702.jpg
GT: pliers
pliers Detection preview by Box_v11_medium_train_SIXray_OPIXray pliers Detection preview by DN_Medium_300_yolov8m_20t7_new No objects detected Detection preview by Segmentatation_v8_medium_train_250 No objects detected Detection preview by Segmentation_V11_large_300_train_300 No objects detected Detection preview by Segmentation_v8_large_300_train_300
Original Image: P07703.jpg
GT: pliers
pliers Detection preview by Box_v11_medium_train_SIXray_OPIXray pliers Detection preview by DN_Medium_300_yolov8m_20t7_new No objects detected Detection preview by Segmentatation_v8_medium_train_250 No objects detected Detection preview by Segmentation_V11_large_300_train_300 No objects detected Detection preview by Segmentation_v8_large_300_train_300
Original Image: P07704.jpg
GT: scissors
scissor Detection preview by Box_v11_medium_train_SIXray_OPIXray No objects detected Detection preview by DN_Medium_300_yolov8m_20t7_new scissor Detection preview by Segmentatation_v8_medium_train_250 scissor Detection preview by Segmentation_V11_large_300_train_300 scissor Detection preview by Segmentation_v8_large_300_train_300
Original Image: P07705.jpg
GT: scissors
scissor Detection preview by Box_v11_medium_train_SIXray_OPIXray No objects detected Detection preview by DN_Medium_300_yolov8m_20t7_new scissor Detection preview by Segmentatation_v8_medium_train_250 scissor Detection preview by Segmentation_V11_large_300_train_300 scissor Detection preview by Segmentation_v8_large_300_train_300
Original Image: P07706.jpg
GT: wrench
wrench Detection preview by Box_v11_medium_train_SIXray_OPIXray No objects detected Detection preview by DN_Medium_300_yolov8m_20t7_new wrench Detection preview by Segmentatation_v8_medium_train_250 No objects detected Detection preview by Segmentation_V11_large_300_train_300 wrench Detection preview by Segmentation_v8_large_300_train_300
Original Image: P07707.jpg
GT: wrench
wrench Detection preview by Box_v11_medium_train_SIXray_OPIXray No objects detected Detection preview by DN_Medium_300_yolov8m_20t7_new wrench Detection preview by Segmentatation_v8_medium_train_250 wrench Detection preview by Segmentation_V11_large_300_train_300 wrench Detection preview by Segmentation_v8_large_300_train_300
Original Image: P07708.jpg
GT: pliers
pliers Detection preview by Box_v11_medium_train_SIXray_OPIXray No objects detected Detection preview by DN_Medium_300_yolov8m_20t7_new No objects detected Detection preview by Segmentatation_v8_medium_train_250 No objects detected Detection preview by Segmentation_V11_large_300_train_300 No objects detected Detection preview by Segmentation_v8_large_300_train_300
Original Image: P07709.jpg
GT: pliers
pliers Detection preview by Box_v11_medium_train_SIXray_OPIXray No objects detected Detection preview by DN_Medium_300_yolov8m_20t7_new No objects detected Detection preview by Segmentatation_v8_medium_train_250 No objects detected Detection preview by Segmentation_V11_large_300_train_300 No objects detected Detection preview by Segmentation_v8_large_300_train_300
Original Image: P07710.jpg
GT: pliers
pliers Detection preview by Box_v11_medium_train_SIXray_OPIXray pliers Detection preview by DN_Medium_300_yolov8m_20t7_new No objects detected Detection preview by Segmentatation_v8_medium_train_250 No objects detected Detection preview by Segmentation_V11_large_300_train_300 No objects detected Detection preview by Segmentation_v8_large_300_train_300
Original Image: P07711.jpg
GT: pliers
pliers Detection preview by Box_v11_medium_train_SIXray_OPIXray pliers Detection preview by DN_Medium_300_yolov8m_20t7_new No objects detected Detection preview by Segmentatation_v8_medium_train_250 No objects detected Detection preview by Segmentation_V11_large_300_train_300 No objects detected Detection preview by Segmentation_v8_large_300_train_300
Original Image: P07712.jpg
GT: pliers
pliers Detection preview by Box_v11_medium_train_SIXray_OPIXray No objects detected Detection preview by DN_Medium_300_yolov8m_20t7_new No objects detected Detection preview by Segmentatation_v8_medium_train_250 No objects detected Detection preview by Segmentation_V11_large_300_train_300 No objects detected Detection preview by Segmentation_v8_large_300_train_300
Original Image: P07713.jpg
GT: pliers
pliers Detection preview by Box_v11_medium_train_SIXray_OPIXray No objects detected Detection preview by DN_Medium_300_yolov8m_20t7_new No objects detected Detection preview by Segmentatation_v8_medium_train_250 No objects detected Detection preview by Segmentation_V11_large_300_train_300 No objects detected Detection preview by Segmentation_v8_large_300_train_300
Original Image: P07714.jpg
GT: pliers
pliers Detection preview by Box_v11_medium_train_SIXray_OPIXray No objects detected Detection preview by DN_Medium_300_yolov8m_20t7_new No objects detected Detection preview by Segmentatation_v8_medium_train_250 No objects detected Detection preview by Segmentation_V11_large_300_train_300 No objects detected Detection preview by Segmentation_v8_large_300_train_300
Original Image: P07715.jpg
GT: pliers
pliers Detection preview by Box_v11_medium_train_SIXray_OPIXray No objects detected Detection preview by DN_Medium_300_yolov8m_20t7_new No objects detected Detection preview by Segmentatation_v8_medium_train_250 No objects detected Detection preview by Segmentation_V11_large_300_train_300 No objects detected Detection preview by Segmentation_v8_large_300_train_300
Original Image: P07716.jpg
GT: wrench
wrench Detection preview by Box_v11_medium_train_SIXray_OPIXray No objects detected Detection preview by DN_Medium_300_yolov8m_20t7_new wrench Detection preview by Segmentatation_v8_medium_train_250 wrench Detection preview by Segmentation_V11_large_300_train_300 wrench Detection preview by Segmentation_v8_large_300_train_300
Original Image: P07717.jpg
GT: wrench
wrench Detection preview by Box_v11_medium_train_SIXray_OPIXray No objects detected Detection preview by DN_Medium_300_yolov8m_20t7_new wrench Detection preview by Segmentatation_v8_medium_train_250 wrench Detection preview by Segmentation_V11_large_300_train_300 wrench Detection preview by Segmentation_v8_large_300_train_300
Original Image: P07718.jpg
GT: pliers
pliers Detection preview by Box_v11_medium_train_SIXray_OPIXray No objects detected Detection preview by DN_Medium_300_yolov8m_20t7_new No objects detected Detection preview by Segmentatation_v8_medium_train_250 No objects detected Detection preview by Segmentation_V11_large_300_train_300 No objects detected Detection preview by Segmentation_v8_large_300_train_300
Original Image: P07719.jpg
GT: pliers
pliers Detection preview by Box_v11_medium_train_SIXray_OPIXray No objects detected Detection preview by DN_Medium_300_yolov8m_20t7_new No objects detected Detection preview by Segmentatation_v8_medium_train_250 No objects detected Detection preview by Segmentation_V11_large_300_train_300 No objects detected Detection preview by Segmentation_v8_large_300_train_300
Original Image: P07720.jpg
GT: pliers
pliers Detection preview by Box_v11_medium_train_SIXray_OPIXray No objects detected Detection preview by DN_Medium_300_yolov8m_20t7_new No objects detected Detection preview by Segmentatation_v8_medium_train_250 No objects detected Detection preview by Segmentation_V11_large_300_train_300 No objects detected Detection preview by Segmentation_v8_large_300_train_300
Original Image: P07721.jpg
GT: pliers
pliers Detection preview by Box_v11_medium_train_SIXray_OPIXray No objects detected Detection preview by DN_Medium_300_yolov8m_20t7_new No objects detected Detection preview by Segmentatation_v8_medium_train_250 No objects detected Detection preview by Segmentation_V11_large_300_train_300 No objects detected Detection preview by Segmentation_v8_large_300_train_300
Original Image: P07722.jpg
GT: pliers, wrench
pliers, wrench Detection preview by Box_v11_medium_train_SIXray_OPIXray No objects detected Detection preview by DN_Medium_300_yolov8m_20t7_new wrench Detection preview by Segmentatation_v8_medium_train_250 wrench Detection preview by Segmentation_V11_large_300_train_300 wrench Detection preview by Segmentation_v8_large_300_train_300
Original Image: P07723.jpg
GT: pliers
pliers, wrench Detection preview by Box_v11_medium_train_SIXray_OPIXray pliers Detection preview by DN_Medium_300_yolov8m_20t7_new wrench Detection preview by Segmentatation_v8_medium_train_250 No objects detected Detection preview by Segmentation_V11_large_300_train_300 wrench Detection preview by Segmentation_v8_large_300_train_300
Original Image: P07724.jpg
GT: knife
knife Detection preview by Box_v11_medium_train_SIXray_OPIXray scissor Detection preview by DN_Medium_300_yolov8m_20t7_new scissor Detection preview by Segmentatation_v8_medium_train_250 scissor Detection preview by Segmentation_V11_large_300_train_300 scissor Detection preview by Segmentation_v8_large_300_train_300
Original Image: P07725.jpg
GT: pliers
pliers Detection preview by Box_v11_medium_train_SIXray_OPIXray No objects detected Detection preview by DN_Medium_300_yolov8m_20t7_new No objects detected Detection preview by Segmentatation_v8_medium_train_250 No objects detected Detection preview by Segmentation_V11_large_300_train_300 No objects detected Detection preview by Segmentation_v8_large_300_train_300
Original Image: P07726.jpg
GT: pliers
pliers Detection preview by Box_v11_medium_train_SIXray_OPIXray pliers Detection preview by DN_Medium_300_yolov8m_20t7_new No objects detected Detection preview by Segmentatation_v8_medium_train_250 No objects detected Detection preview by Segmentation_V11_large_300_train_300 No objects detected Detection preview by Segmentation_v8_large_300_train_300
Original Image: P07727.jpg
GT: pliers
pliers Detection preview by Box_v11_medium_train_SIXray_OPIXray No objects detected Detection preview by DN_Medium_300_yolov8m_20t7_new No objects detected Detection preview by Segmentatation_v8_medium_train_250 No objects detected Detection preview by Segmentation_V11_large_300_train_300 No objects detected Detection preview by Segmentation_v8_large_300_train_300
Original Image: P07728.jpg
GT: wrench
wrench Detection preview by Box_v11_medium_train_SIXray_OPIXray No objects detected Detection preview by DN_Medium_300_yolov8m_20t7_new wrench Detection preview by Segmentatation_v8_medium_train_250 wrench Detection preview by Segmentation_V11_large_300_train_300 scissor, wrench Detection preview by Segmentation_v8_large_300_train_300
Original Image: P07729.jpg
GT: pliers
pliers Detection preview by Box_v11_medium_train_SIXray_OPIXray No objects detected Detection preview by DN_Medium_300_yolov8m_20t7_new No objects detected Detection preview by Segmentatation_v8_medium_train_250 No objects detected Detection preview by Segmentation_V11_large_300_train_300 No objects detected Detection preview by Segmentation_v8_large_300_train_300
Original Image: P07730.jpg
GT: pliers
pliers Detection preview by Box_v11_medium_train_SIXray_OPIXray pliers Detection preview by DN_Medium_300_yolov8m_20t7_new No objects detected Detection preview by Segmentatation_v8_medium_train_250 No objects detected Detection preview by Segmentation_V11_large_300_train_300 No objects detected Detection preview by Segmentation_v8_large_300_train_300
Original Image: P07731.jpg
GT: pliers
pliers Detection preview by Box_v11_medium_train_SIXray_OPIXray pliers Detection preview by DN_Medium_300_yolov8m_20t7_new No objects detected Detection preview by Segmentatation_v8_medium_train_250 No objects detected Detection preview by Segmentation_V11_large_300_train_300 No objects detected Detection preview by Segmentation_v8_large_300_train_300
Original Image: P07732.jpg
GT: pliers
pliers Detection preview by Box_v11_medium_train_SIXray_OPIXray pliers Detection preview by DN_Medium_300_yolov8m_20t7_new No objects detected Detection preview by Segmentatation_v8_medium_train_250 No objects detected Detection preview by Segmentation_V11_large_300_train_300 No objects detected Detection preview by Segmentation_v8_large_300_train_300
Original Image: P07733.jpg
GT: pliers
pliers Detection preview by Box_v11_medium_train_SIXray_OPIXray pliers Detection preview by DN_Medium_300_yolov8m_20t7_new No objects detected Detection preview by Segmentatation_v8_medium_train_250 No objects detected Detection preview by Segmentation_V11_large_300_train_300 No objects detected Detection preview by Segmentation_v8_large_300_train_300
Original Image: P07734.jpg
GT: pliers
pliers Detection preview by Box_v11_medium_train_SIXray_OPIXray No objects detected Detection preview by DN_Medium_300_yolov8m_20t7_new No objects detected Detection preview by Segmentatation_v8_medium_train_250 No objects detected Detection preview by Segmentation_V11_large_300_train_300 No objects detected Detection preview by Segmentation_v8_large_300_train_300
Original Image: P07735.jpg
GT: pliers
pliers Detection preview by Box_v11_medium_train_SIXray_OPIXray No objects detected Detection preview by DN_Medium_300_yolov8m_20t7_new No objects detected Detection preview by Segmentatation_v8_medium_train_250 No objects detected Detection preview by Segmentation_V11_large_300_train_300 No objects detected Detection preview by Segmentation_v8_large_300_train_300
Original Image: P07736.jpg
GT: pliers
pliers Detection preview by Box_v11_medium_train_SIXray_OPIXray No objects detected Detection preview by DN_Medium_300_yolov8m_20t7_new No objects detected Detection preview by Segmentatation_v8_medium_train_250 No objects detected Detection preview by Segmentation_V11_large_300_train_300 No objects detected Detection preview by Segmentation_v8_large_300_train_300
Original Image: P07737.jpg
GT: pliers
pliers Detection preview by Box_v11_medium_train_SIXray_OPIXray No objects detected Detection preview by DN_Medium_300_yolov8m_20t7_new No objects detected Detection preview by Segmentatation_v8_medium_train_250 No objects detected Detection preview by Segmentation_V11_large_300_train_300 No objects detected Detection preview by Segmentation_v8_large_300_train_300
Original Image: P07738.jpg
GT: pliers
pliers Detection preview by Box_v11_medium_train_SIXray_OPIXray No objects detected Detection preview by DN_Medium_300_yolov8m_20t7_new No objects detected Detection preview by Segmentatation_v8_medium_train_250 No objects detected Detection preview by Segmentation_V11_large_300_train_300 No objects detected Detection preview by Segmentation_v8_large_300_train_300
Original Image: P07739.jpg
GT: pliers
pliers Detection preview by Box_v11_medium_train_SIXray_OPIXray No objects detected Detection preview by DN_Medium_300_yolov8m_20t7_new No objects detected Detection preview by Segmentatation_v8_medium_train_250 No objects detected Detection preview by Segmentation_V11_large_300_train_300 No objects detected Detection preview by Segmentation_v8_large_300_train_300
Original Image: P07740.jpg
GT: pliers
pliers Detection preview by Box_v11_medium_train_SIXray_OPIXray No objects detected Detection preview by DN_Medium_300_yolov8m_20t7_new No objects detected Detection preview by Segmentatation_v8_medium_train_250 No objects detected Detection preview by Segmentation_V11_large_300_train_300 No objects detected Detection preview by Segmentation_v8_large_300_train_300
Original Image: P07741.jpg
GT: wrench
wrench Detection preview by Box_v11_medium_train_SIXray_OPIXray No objects detected Detection preview by DN_Medium_300_yolov8m_20t7_new wrench Detection preview by Segmentatation_v8_medium_train_250 wrench Detection preview by Segmentation_V11_large_300_train_300 wrench Detection preview by Segmentation_v8_large_300_train_300
Original Image: P07742.jpg
GT: wrench
wrench Detection preview by Box_v11_medium_train_SIXray_OPIXray No objects detected Detection preview by DN_Medium_300_yolov8m_20t7_new wrench Detection preview by Segmentatation_v8_medium_train_250 wrench Detection preview by Segmentation_V11_large_300_train_300 wrench Detection preview by Segmentation_v8_large_300_train_300
Original Image: P07743.jpg
GT: pliers
pliers Detection preview by Box_v11_medium_train_SIXray_OPIXray pliers Detection preview by DN_Medium_300_yolov8m_20t7_new No objects detected Detection preview by Segmentatation_v8_medium_train_250 No objects detected Detection preview by Segmentation_V11_large_300_train_300 No objects detected Detection preview by Segmentation_v8_large_300_train_300
Original Image: P07744.jpg
GT: pliers
pliers Detection preview by Box_v11_medium_train_SIXray_OPIXray pliers Detection preview by DN_Medium_300_yolov8m_20t7_new No objects detected Detection preview by Segmentatation_v8_medium_train_250 No objects detected Detection preview by Segmentation_V11_large_300_train_300 No objects detected Detection preview by Segmentation_v8_large_300_train_300
Original Image: P07745.jpg
GT: pliers
pliers Detection preview by Box_v11_medium_train_SIXray_OPIXray pliers Detection preview by DN_Medium_300_yolov8m_20t7_new No objects detected Detection preview by Segmentatation_v8_medium_train_250 No objects detected Detection preview by Segmentation_V11_large_300_train_300 No objects detected Detection preview by Segmentation_v8_large_300_train_300
Original Image: P07746.jpg
GT: pliers
pliers Detection preview by Box_v11_medium_train_SIXray_OPIXray pliers Detection preview by DN_Medium_300_yolov8m_20t7_new No objects detected Detection preview by Segmentatation_v8_medium_train_250 No objects detected Detection preview by Segmentation_V11_large_300_train_300 No objects detected Detection preview by Segmentation_v8_large_300_train_300
Original Image: P07747.jpg
GT: pliers, wrench
pliers, wrench Detection preview by Box_v11_medium_train_SIXray_OPIXray No objects detected Detection preview by DN_Medium_300_yolov8m_20t7_new wrench Detection preview by Segmentatation_v8_medium_train_250 wrench Detection preview by Segmentation_V11_large_300_train_300 wrench Detection preview by Segmentation_v8_large_300_train_300
Original Image: P07748.jpg
GT: pliers, wrench
pliers, wrench Detection preview by Box_v11_medium_train_SIXray_OPIXray No objects detected Detection preview by DN_Medium_300_yolov8m_20t7_new wrench Detection preview by Segmentatation_v8_medium_train_250 wrench Detection preview by Segmentation_V11_large_300_train_300 wrench Detection preview by Segmentation_v8_large_300_train_300
Original Image: P07749.jpg
GT: pliers
pliers Detection preview by Box_v11_medium_train_SIXray_OPIXray No objects detected Detection preview by DN_Medium_300_yolov8m_20t7_new No objects detected Detection preview by Segmentatation_v8_medium_train_250 No objects detected Detection preview by Segmentation_V11_large_300_train_300 No objects detected Detection preview by Segmentation_v8_large_300_train_300
Original Image: P07750.jpg
GT: scissors
scissor Detection preview by Box_v11_medium_train_SIXray_OPIXray No objects detected Detection preview by DN_Medium_300_yolov8m_20t7_new scissor Detection preview by Segmentatation_v8_medium_train_250 scissor Detection preview by Segmentation_V11_large_300_train_300 scissor Detection preview by Segmentation_v8_large_300_train_300
Original Image: P07751.jpg
GT: scissors
scissor Detection preview by Box_v11_medium_train_SIXray_OPIXray No objects detected Detection preview by DN_Medium_300_yolov8m_20t7_new scissor Detection preview by Segmentatation_v8_medium_train_250 scissor Detection preview by Segmentation_V11_large_300_train_300 scissor Detection preview by Segmentation_v8_large_300_train_300
Original Image: P07752.jpg
GT: scissors
scissor Detection preview by Box_v11_medium_train_SIXray_OPIXray No objects detected Detection preview by DN_Medium_300_yolov8m_20t7_new scissor Detection preview by Segmentatation_v8_medium_train_250 scissor Detection preview by Segmentation_V11_large_300_train_300 scissor Detection preview by Segmentation_v8_large_300_train_300
Original Image: P07753.jpg
GT: scissors
scissor Detection preview by Box_v11_medium_train_SIXray_OPIXray No objects detected Detection preview by DN_Medium_300_yolov8m_20t7_new scissor Detection preview by Segmentatation_v8_medium_train_250 scissor Detection preview by Segmentation_V11_large_300_train_300 scissor Detection preview by Segmentation_v8_large_300_train_300
Original Image: P07754.jpg
GT: wrench
wrench Detection preview by Box_v11_medium_train_SIXray_OPIXray No objects detected Detection preview by DN_Medium_300_yolov8m_20t7_new wrench Detection preview by Segmentatation_v8_medium_train_250 wrench Detection preview by Segmentation_V11_large_300_train_300 wrench Detection preview by Segmentation_v8_large_300_train_300
Original Image: P07755.jpg
GT: wrench
wrench Detection preview by Box_v11_medium_train_SIXray_OPIXray No objects detected Detection preview by DN_Medium_300_yolov8m_20t7_new wrench Detection preview by Segmentatation_v8_medium_train_250 wrench Detection preview by Segmentation_V11_large_300_train_300 wrench Detection preview by Segmentation_v8_large_300_train_300
Original Image: P07756.jpg
GT: pliers
pliers Detection preview by Box_v11_medium_train_SIXray_OPIXray pliers Detection preview by DN_Medium_300_yolov8m_20t7_new No objects detected Detection preview by Segmentatation_v8_medium_train_250 No objects detected Detection preview by Segmentation_V11_large_300_train_300 No objects detected Detection preview by Segmentation_v8_large_300_train_300
Original Image: P07757.jpg
GT: wrench
wrench Detection preview by Box_v11_medium_train_SIXray_OPIXray No objects detected Detection preview by DN_Medium_300_yolov8m_20t7_new wrench Detection preview by Segmentatation_v8_medium_train_250 wrench Detection preview by Segmentation_V11_large_300_train_300 wrench Detection preview by Segmentation_v8_large_300_train_300
Original Image: P07758.jpg
GT: pliers
pliers Detection preview by Box_v11_medium_train_SIXray_OPIXray No objects detected Detection preview by DN_Medium_300_yolov8m_20t7_new wrench Detection preview by Segmentatation_v8_medium_train_250 wrench Detection preview by Segmentation_V11_large_300_train_300 No objects detected Detection preview by Segmentation_v8_large_300_train_300
Original Image: P07759.jpg
GT: scissors
scissor Detection preview by Box_v11_medium_train_SIXray_OPIXray No objects detected Detection preview by DN_Medium_300_yolov8m_20t7_new scissor Detection preview by Segmentatation_v8_medium_train_250 scissor Detection preview by Segmentation_V11_large_300_train_300 scissor Detection preview by Segmentation_v8_large_300_train_300
Original Image: P07760.jpg
GT: scissors
scissor Detection preview by Box_v11_medium_train_SIXray_OPIXray No objects detected Detection preview by DN_Medium_300_yolov8m_20t7_new scissor Detection preview by Segmentatation_v8_medium_train_250 scissor Detection preview by Segmentation_V11_large_300_train_300 scissor Detection preview by Segmentation_v8_large_300_train_300
Original Image: P07761.jpg
GT: scissors
scissor Detection preview by Box_v11_medium_train_SIXray_OPIXray No objects detected Detection preview by DN_Medium_300_yolov8m_20t7_new scissor Detection preview by Segmentatation_v8_medium_train_250 scissor Detection preview by Segmentation_V11_large_300_train_300 scissor Detection preview by Segmentation_v8_large_300_train_300
Original Image: P07762.jpg
GT: wrench
wrench Detection preview by Box_v11_medium_train_SIXray_OPIXray No objects detected Detection preview by DN_Medium_300_yolov8m_20t7_new scissor, wrench Detection preview by Segmentatation_v8_medium_train_250 scissor, wrench Detection preview by Segmentation_V11_large_300_train_300 wrench Detection preview by Segmentation_v8_large_300_train_300
Original Image: P07763.jpg
GT: wrench
wrench Detection preview by Box_v11_medium_train_SIXray_OPIXray No objects detected Detection preview by DN_Medium_300_yolov8m_20t7_new scissor, wrench Detection preview by Segmentatation_v8_medium_train_250 wrench Detection preview by Segmentation_V11_large_300_train_300 wrench Detection preview by Segmentation_v8_large_300_train_300
Original Image: P07764.jpg
GT: pliers
pliers Detection preview by Box_v11_medium_train_SIXray_OPIXray No objects detected Detection preview by DN_Medium_300_yolov8m_20t7_new No objects detected Detection preview by Segmentatation_v8_medium_train_250 No objects detected Detection preview by Segmentation_V11_large_300_train_300 No objects detected Detection preview by Segmentation_v8_large_300_train_300
Original Image: P07765.jpg
GT: pliers
pliers Detection preview by Box_v11_medium_train_SIXray_OPIXray No objects detected Detection preview by DN_Medium_300_yolov8m_20t7_new No objects detected Detection preview by Segmentatation_v8_medium_train_250 No objects detected Detection preview by Segmentation_V11_large_300_train_300 No objects detected Detection preview by Segmentation_v8_large_300_train_300
Original Image: P07766.jpg
GT: pliers
pliers Detection preview by Box_v11_medium_train_SIXray_OPIXray No objects detected Detection preview by DN_Medium_300_yolov8m_20t7_new No objects detected Detection preview by Segmentatation_v8_medium_train_250 No objects detected Detection preview by Segmentation_V11_large_300_train_300 No objects detected Detection preview by Segmentation_v8_large_300_train_300
Original Image: P07767.jpg
GT: pliers, wrench
pliers, wrench Detection preview by Box_v11_medium_train_SIXray_OPIXray No objects detected Detection preview by DN_Medium_300_yolov8m_20t7_new wrench Detection preview by Segmentatation_v8_medium_train_250 wrench Detection preview by Segmentation_V11_large_300_train_300 wrench Detection preview by Segmentation_v8_large_300_train_300
Original Image: P07768.jpg
GT: pliers
pliers Detection preview by Box_v11_medium_train_SIXray_OPIXray No objects detected Detection preview by DN_Medium_300_yolov8m_20t7_new No objects detected Detection preview by Segmentatation_v8_medium_train_250 No objects detected Detection preview by Segmentation_V11_large_300_train_300 No objects detected Detection preview by Segmentation_v8_large_300_train_300
Original Image: P07769.jpg
GT: scissors
scissor Detection preview by Box_v11_medium_train_SIXray_OPIXray No objects detected Detection preview by DN_Medium_300_yolov8m_20t7_new scissor Detection preview by Segmentatation_v8_medium_train_250 scissor Detection preview by Segmentation_V11_large_300_train_300 scissor Detection preview by Segmentation_v8_large_300_train_300
Original Image: P07770.jpg
GT: pliers
pliers Detection preview by Box_v11_medium_train_SIXray_OPIXray No objects detected Detection preview by DN_Medium_300_yolov8m_20t7_new No objects detected Detection preview by Segmentatation_v8_medium_train_250 No objects detected Detection preview by Segmentation_V11_large_300_train_300 No objects detected Detection preview by Segmentation_v8_large_300_train_300
Original Image: P07771.jpg
GT: pliers
pliers Detection preview by Box_v11_medium_train_SIXray_OPIXray No objects detected Detection preview by DN_Medium_300_yolov8m_20t7_new No objects detected Detection preview by Segmentatation_v8_medium_train_250 No objects detected Detection preview by Segmentation_V11_large_300_train_300 No objects detected Detection preview by Segmentation_v8_large_300_train_300
Original Image: P07772.jpg
GT: wrench
wrench Detection preview by Box_v11_medium_train_SIXray_OPIXray No objects detected Detection preview by DN_Medium_300_yolov8m_20t7_new wrench Detection preview by Segmentatation_v8_medium_train_250 wrench Detection preview by Segmentation_V11_large_300_train_300 wrench Detection preview by Segmentation_v8_large_300_train_300
Original Image: P07773.jpg
GT: scissors
scissor Detection preview by Box_v11_medium_train_SIXray_OPIXray No objects detected Detection preview by DN_Medium_300_yolov8m_20t7_new scissor Detection preview by Segmentatation_v8_medium_train_250 scissor Detection preview by Segmentation_V11_large_300_train_300 scissor Detection preview by Segmentation_v8_large_300_train_300
Original Image: P07774.jpg
GT: pliers
pliers Detection preview by Box_v11_medium_train_SIXray_OPIXray pliers Detection preview by DN_Medium_300_yolov8m_20t7_new No objects detected Detection preview by Segmentatation_v8_medium_train_250 No objects detected Detection preview by Segmentation_V11_large_300_train_300 No objects detected Detection preview by Segmentation_v8_large_300_train_300
Original Image: P07775.jpg
GT: pliers
pliers Detection preview by Box_v11_medium_train_SIXray_OPIXray No objects detected Detection preview by DN_Medium_300_yolov8m_20t7_new No objects detected Detection preview by Segmentatation_v8_medium_train_250 No objects detected Detection preview by Segmentation_V11_large_300_train_300 No objects detected Detection preview by Segmentation_v8_large_300_train_300
Original Image: P07776.jpg
GT: pliers
pliers Detection preview by Box_v11_medium_train_SIXray_OPIXray No objects detected Detection preview by DN_Medium_300_yolov8m_20t7_new No objects detected Detection preview by Segmentatation_v8_medium_train_250 No objects detected Detection preview by Segmentation_V11_large_300_train_300 No objects detected Detection preview by Segmentation_v8_large_300_train_300
Original Image: P07777.jpg
GT: pliers
pliers Detection preview by Box_v11_medium_train_SIXray_OPIXray No objects detected Detection preview by DN_Medium_300_yolov8m_20t7_new No objects detected Detection preview by Segmentatation_v8_medium_train_250 No objects detected Detection preview by Segmentation_V11_large_300_train_300 No objects detected Detection preview by Segmentation_v8_large_300_train_300
Original Image: P07778.jpg
GT: pliers
pliers Detection preview by Box_v11_medium_train_SIXray_OPIXray No objects detected Detection preview by DN_Medium_300_yolov8m_20t7_new No objects detected Detection preview by Segmentatation_v8_medium_train_250 No objects detected Detection preview by Segmentation_V11_large_300_train_300 No objects detected Detection preview by Segmentation_v8_large_300_train_300
Original Image: P07779.jpg
GT: wrench
wrench Detection preview by Box_v11_medium_train_SIXray_OPIXray No objects detected Detection preview by DN_Medium_300_yolov8m_20t7_new wrench Detection preview by Segmentatation_v8_medium_train_250 wrench Detection preview by Segmentation_V11_large_300_train_300 wrench Detection preview by Segmentation_v8_large_300_train_300
Original Image: P07780.jpg
GT: wrench
wrench Detection preview by Box_v11_medium_train_SIXray_OPIXray No objects detected Detection preview by DN_Medium_300_yolov8m_20t7_new wrench Detection preview by Segmentatation_v8_medium_train_250 wrench Detection preview by Segmentation_V11_large_300_train_300 wrench Detection preview by Segmentation_v8_large_300_train_300
Original Image: P07781.jpg
GT: wrench
wrench Detection preview by Box_v11_medium_train_SIXray_OPIXray No objects detected Detection preview by DN_Medium_300_yolov8m_20t7_new wrench Detection preview by Segmentatation_v8_medium_train_250 wrench Detection preview by Segmentation_V11_large_300_train_300 wrench Detection preview by Segmentation_v8_large_300_train_300
Original Image: P07782.jpg
GT: pliers, wrench
pliers, wrench Detection preview by Box_v11_medium_train_SIXray_OPIXray pliers Detection preview by DN_Medium_300_yolov8m_20t7_new wrench Detection preview by Segmentatation_v8_medium_train_250 wrench Detection preview by Segmentation_V11_large_300_train_300 wrench Detection preview by Segmentation_v8_large_300_train_300
Original Image: P07783.jpg
GT: pliers, wrench
pliers, wrench Detection preview by Box_v11_medium_train_SIXray_OPIXray pliers Detection preview by DN_Medium_300_yolov8m_20t7_new wrench Detection preview by Segmentatation_v8_medium_train_250 wrench Detection preview by Segmentation_V11_large_300_train_300 wrench Detection preview by Segmentation_v8_large_300_train_300
Original Image: P07784.jpg
GT: pliers
pliers Detection preview by Box_v11_medium_train_SIXray_OPIXray No objects detected Detection preview by DN_Medium_300_yolov8m_20t7_new No objects detected Detection preview by Segmentatation_v8_medium_train_250 No objects detected Detection preview by Segmentation_V11_large_300_train_300 No objects detected Detection preview by Segmentation_v8_large_300_train_300
Original Image: P07785.jpg
GT: pliers
pliers Detection preview by Box_v11_medium_train_SIXray_OPIXray No objects detected Detection preview by DN_Medium_300_yolov8m_20t7_new No objects detected Detection preview by Segmentatation_v8_medium_train_250 No objects detected Detection preview by Segmentation_V11_large_300_train_300 No objects detected Detection preview by Segmentation_v8_large_300_train_300
Original Image: P07786.jpg
GT: pliers
pliers Detection preview by Box_v11_medium_train_SIXray_OPIXray No objects detected Detection preview by DN_Medium_300_yolov8m_20t7_new No objects detected Detection preview by Segmentatation_v8_medium_train_250 No objects detected Detection preview by Segmentation_V11_large_300_train_300 No objects detected Detection preview by Segmentation_v8_large_300_train_300
Original Image: P07787.jpg
GT: pliers
pliers Detection preview by Box_v11_medium_train_SIXray_OPIXray No objects detected Detection preview by DN_Medium_300_yolov8m_20t7_new No objects detected Detection preview by Segmentatation_v8_medium_train_250 No objects detected Detection preview by Segmentation_V11_large_300_train_300 No objects detected Detection preview by Segmentation_v8_large_300_train_300
Original Image: P07788.jpg
GT: wrench
wrench Detection preview by Box_v11_medium_train_SIXray_OPIXray No objects detected Detection preview by DN_Medium_300_yolov8m_20t7_new wrench Detection preview by Segmentatation_v8_medium_train_250 wrench Detection preview by Segmentation_V11_large_300_train_300 wrench Detection preview by Segmentation_v8_large_300_train_300
Original Image: P07789.jpg
GT: wrench
wrench Detection preview by Box_v11_medium_train_SIXray_OPIXray No objects detected Detection preview by DN_Medium_300_yolov8m_20t7_new wrench Detection preview by Segmentatation_v8_medium_train_250 wrench Detection preview by Segmentation_V11_large_300_train_300 wrench Detection preview by Segmentation_v8_large_300_train_300
Original Image: P07790.jpg
GT: pliers
pliers Detection preview by Box_v11_medium_train_SIXray_OPIXray No objects detected Detection preview by DN_Medium_300_yolov8m_20t7_new No objects detected Detection preview by Segmentatation_v8_medium_train_250 No objects detected Detection preview by Segmentation_V11_large_300_train_300 No objects detected Detection preview by Segmentation_v8_large_300_train_300
Original Image: P07791.jpg
GT: pliers
pliers Detection preview by Box_v11_medium_train_SIXray_OPIXray No objects detected Detection preview by DN_Medium_300_yolov8m_20t7_new No objects detected Detection preview by Segmentatation_v8_medium_train_250 No objects detected Detection preview by Segmentation_V11_large_300_train_300 No objects detected Detection preview by Segmentation_v8_large_300_train_300
Original Image: P07792.jpg
GT: pliers
pliers Detection preview by Box_v11_medium_train_SIXray_OPIXray No objects detected Detection preview by DN_Medium_300_yolov8m_20t7_new No objects detected Detection preview by Segmentatation_v8_medium_train_250 No objects detected Detection preview by Segmentation_V11_large_300_train_300 No objects detected Detection preview by Segmentation_v8_large_300_train_300
Original Image: P07793.jpg
GT: pliers
pliers Detection preview by Box_v11_medium_train_SIXray_OPIXray No objects detected Detection preview by DN_Medium_300_yolov8m_20t7_new No objects detected Detection preview by Segmentatation_v8_medium_train_250 No objects detected Detection preview by Segmentation_V11_large_300_train_300 No objects detected Detection preview by Segmentation_v8_large_300_train_300
Original Image: P07794.jpg
GT: pliers
pliers Detection preview by Box_v11_medium_train_SIXray_OPIXray No objects detected Detection preview by DN_Medium_300_yolov8m_20t7_new No objects detected Detection preview by Segmentatation_v8_medium_train_250 No objects detected Detection preview by Segmentation_V11_large_300_train_300 No objects detected Detection preview by Segmentation_v8_large_300_train_300
Original Image: P07795.jpg
GT: pliers
pliers Detection preview by Box_v11_medium_train_SIXray_OPIXray No objects detected Detection preview by DN_Medium_300_yolov8m_20t7_new No objects detected Detection preview by Segmentatation_v8_medium_train_250 No objects detected Detection preview by Segmentation_V11_large_300_train_300 No objects detected Detection preview by Segmentation_v8_large_300_train_300
Original Image: P07796.jpg
GT: scissors
scissor Detection preview by Box_v11_medium_train_SIXray_OPIXray scissor Detection preview by DN_Medium_300_yolov8m_20t7_new scissor Detection preview by Segmentatation_v8_medium_train_250 scissor Detection preview by Segmentation_V11_large_300_train_300 scissor Detection preview by Segmentation_v8_large_300_train_300
Original Image: P07797.jpg
GT: scissors
scissor Detection preview by Box_v11_medium_train_SIXray_OPIXray No objects detected Detection preview by DN_Medium_300_yolov8m_20t7_new scissor Detection preview by Segmentatation_v8_medium_train_250 scissor Detection preview by Segmentation_V11_large_300_train_300 scissor Detection preview by Segmentation_v8_large_300_train_300
Original Image: P07798.jpg
GT: scissors
scissor Detection preview by Box_v11_medium_train_SIXray_OPIXray scissor Detection preview by DN_Medium_300_yolov8m_20t7_new scissor Detection preview by Segmentatation_v8_medium_train_250 scissor Detection preview by Segmentation_V11_large_300_train_300 scissor Detection preview by Segmentation_v8_large_300_train_300
Original Image: P07799.jpg
GT: scissors
scissor Detection preview by Box_v11_medium_train_SIXray_OPIXray scissor Detection preview by DN_Medium_300_yolov8m_20t7_new scissor Detection preview by Segmentatation_v8_medium_train_250 scissor Detection preview by Segmentation_V11_large_300_train_300 scissor Detection preview by Segmentation_v8_large_300_train_300
Original Image: P07800.jpg
GT: wrench
wrench Detection preview by Box_v11_medium_train_SIXray_OPIXray No objects detected Detection preview by DN_Medium_300_yolov8m_20t7_new wrench Detection preview by Segmentatation_v8_medium_train_250 wrench Detection preview by Segmentation_V11_large_300_train_300 wrench Detection preview by Segmentation_v8_large_300_train_300
Original Image: P07801.jpg
GT: wrench
wrench Detection preview by Box_v11_medium_train_SIXray_OPIXray No objects detected Detection preview by DN_Medium_300_yolov8m_20t7_new wrench Detection preview by Segmentatation_v8_medium_train_250 wrench Detection preview by Segmentation_V11_large_300_train_300 wrench Detection preview by Segmentation_v8_large_300_train_300
Original Image: P07802.jpg
GT: wrench
wrench Detection preview by Box_v11_medium_train_SIXray_OPIXray No objects detected Detection preview by DN_Medium_300_yolov8m_20t7_new wrench Detection preview by Segmentatation_v8_medium_train_250 wrench Detection preview by Segmentation_V11_large_300_train_300 wrench Detection preview by Segmentation_v8_large_300_train_300
Original Image: P07803.jpg
GT: wrench
wrench Detection preview by Box_v11_medium_train_SIXray_OPIXray No objects detected Detection preview by DN_Medium_300_yolov8m_20t7_new wrench Detection preview by Segmentatation_v8_medium_train_250 wrench Detection preview by Segmentation_V11_large_300_train_300 wrench Detection preview by Segmentation_v8_large_300_train_300
Original Image: P07804.jpg
GT: wrench
wrench Detection preview by Box_v11_medium_train_SIXray_OPIXray No objects detected Detection preview by DN_Medium_300_yolov8m_20t7_new wrench Detection preview by Segmentatation_v8_medium_train_250 wrench Detection preview by Segmentation_V11_large_300_train_300 wrench Detection preview by Segmentation_v8_large_300_train_300
Original Image: P07805.jpg
GT: wrench
wrench Detection preview by Box_v11_medium_train_SIXray_OPIXray No objects detected Detection preview by DN_Medium_300_yolov8m_20t7_new wrench Detection preview by Segmentatation_v8_medium_train_250 wrench Detection preview by Segmentation_V11_large_300_train_300 wrench Detection preview by Segmentation_v8_large_300_train_300
Original Image: P07806.jpg
GT: wrench
wrench Detection preview by Box_v11_medium_train_SIXray_OPIXray No objects detected Detection preview by DN_Medium_300_yolov8m_20t7_new wrench Detection preview by Segmentatation_v8_medium_train_250 wrench Detection preview by Segmentation_V11_large_300_train_300 wrench Detection preview by Segmentation_v8_large_300_train_300
Original Image: P07807.jpg
GT: wrench
wrench Detection preview by Box_v11_medium_train_SIXray_OPIXray No objects detected Detection preview by DN_Medium_300_yolov8m_20t7_new wrench Detection preview by Segmentatation_v8_medium_train_250 wrench Detection preview by Segmentation_V11_large_300_train_300 wrench Detection preview by Segmentation_v8_large_300_train_300
Original Image: P07808.jpg
GT: pliers
pliers Detection preview by Box_v11_medium_train_SIXray_OPIXray pliers Detection preview by DN_Medium_300_yolov8m_20t7_new No objects detected Detection preview by Segmentatation_v8_medium_train_250 No objects detected Detection preview by Segmentation_V11_large_300_train_300 No objects detected Detection preview by Segmentation_v8_large_300_train_300
Original Image: P07809.jpg
GT: pliers
pliers Detection preview by Box_v11_medium_train_SIXray_OPIXray pliers Detection preview by DN_Medium_300_yolov8m_20t7_new No objects detected Detection preview by Segmentatation_v8_medium_train_250 No objects detected Detection preview by Segmentation_V11_large_300_train_300 No objects detected Detection preview by Segmentation_v8_large_300_train_300
Original Image: P07810.jpg
GT: pliers
pliers Detection preview by Box_v11_medium_train_SIXray_OPIXray pliers Detection preview by DN_Medium_300_yolov8m_20t7_new No objects detected Detection preview by Segmentatation_v8_medium_train_250 No objects detected Detection preview by Segmentation_V11_large_300_train_300 No objects detected Detection preview by Segmentation_v8_large_300_train_300
Original Image: P07811.jpg
GT: pliers
pliers Detection preview by Box_v11_medium_train_SIXray_OPIXray No objects detected Detection preview by DN_Medium_300_yolov8m_20t7_new No objects detected Detection preview by Segmentatation_v8_medium_train_250 No objects detected Detection preview by Segmentation_V11_large_300_train_300 No objects detected Detection preview by Segmentation_v8_large_300_train_300
Original Image: P07812.jpg
GT: pliers
pliers Detection preview by Box_v11_medium_train_SIXray_OPIXray No objects detected Detection preview by DN_Medium_300_yolov8m_20t7_new No objects detected Detection preview by Segmentatation_v8_medium_train_250 No objects detected Detection preview by Segmentation_V11_large_300_train_300 No objects detected Detection preview by Segmentation_v8_large_300_train_300
Original Image: P07813.jpg
GT: pliers
pliers Detection preview by Box_v11_medium_train_SIXray_OPIXray No objects detected Detection preview by DN_Medium_300_yolov8m_20t7_new No objects detected Detection preview by Segmentatation_v8_medium_train_250 No objects detected Detection preview by Segmentation_V11_large_300_train_300 No objects detected Detection preview by Segmentation_v8_large_300_train_300
Original Image: P07814.jpg
GT: pliers
pliers Detection preview by Box_v11_medium_train_SIXray_OPIXray No objects detected Detection preview by DN_Medium_300_yolov8m_20t7_new No objects detected Detection preview by Segmentatation_v8_medium_train_250 No objects detected Detection preview by Segmentation_V11_large_300_train_300 No objects detected Detection preview by Segmentation_v8_large_300_train_300
Original Image: P07815.jpg
GT: knife
knife Detection preview by Box_v11_medium_train_SIXray_OPIXray No objects detected Detection preview by DN_Medium_300_yolov8m_20t7_new No objects detected Detection preview by Segmentatation_v8_medium_train_250 No objects detected Detection preview by Segmentation_V11_large_300_train_300 scissor Detection preview by Segmentation_v8_large_300_train_300
Original Image: P07816.jpg
GT: pliers
pliers Detection preview by Box_v11_medium_train_SIXray_OPIXray No objects detected Detection preview by DN_Medium_300_yolov8m_20t7_new No objects detected Detection preview by Segmentatation_v8_medium_train_250 No objects detected Detection preview by Segmentation_V11_large_300_train_300 No objects detected Detection preview by Segmentation_v8_large_300_train_300
Original Image: P07817.jpg
GT: pliers
pliers Detection preview by Box_v11_medium_train_SIXray_OPIXray No objects detected Detection preview by DN_Medium_300_yolov8m_20t7_new No objects detected Detection preview by Segmentatation_v8_medium_train_250 No objects detected Detection preview by Segmentation_V11_large_300_train_300 No objects detected Detection preview by Segmentation_v8_large_300_train_300
Original Image: P07818.jpg
GT: pliers
pliers Detection preview by Box_v11_medium_train_SIXray_OPIXray No objects detected Detection preview by DN_Medium_300_yolov8m_20t7_new No objects detected Detection preview by Segmentatation_v8_medium_train_250 No objects detected Detection preview by Segmentation_V11_large_300_train_300 No objects detected Detection preview by Segmentation_v8_large_300_train_300
Original Image: P07819.jpg
GT: pliers, wrench
pliers, wrench Detection preview by Box_v11_medium_train_SIXray_OPIXray pliers Detection preview by DN_Medium_300_yolov8m_20t7_new wrench Detection preview by Segmentatation_v8_medium_train_250 wrench Detection preview by Segmentation_V11_large_300_train_300 wrench Detection preview by Segmentation_v8_large_300_train_300
Original Image: P07820.jpg
GT: wrench
wrench Detection preview by Box_v11_medium_train_SIXray_OPIXray No objects detected Detection preview by DN_Medium_300_yolov8m_20t7_new wrench Detection preview by Segmentatation_v8_medium_train_250 wrench Detection preview by Segmentation_V11_large_300_train_300 wrench Detection preview by Segmentation_v8_large_300_train_300
Original Image: P07821.jpg
GT: wrench
wrench Detection preview by Box_v11_medium_train_SIXray_OPIXray No objects detected Detection preview by DN_Medium_300_yolov8m_20t7_new wrench Detection preview by Segmentatation_v8_medium_train_250 wrench Detection preview by Segmentation_V11_large_300_train_300 wrench Detection preview by Segmentation_v8_large_300_train_300
Original Image: P07822.jpg
GT: wrench
wrench Detection preview by Box_v11_medium_train_SIXray_OPIXray No objects detected Detection preview by DN_Medium_300_yolov8m_20t7_new wrench Detection preview by Segmentatation_v8_medium_train_250 wrench Detection preview by Segmentation_V11_large_300_train_300 wrench Detection preview by Segmentation_v8_large_300_train_300
Original Image: P07823.jpg
GT: wrench
wrench Detection preview by Box_v11_medium_train_SIXray_OPIXray No objects detected Detection preview by DN_Medium_300_yolov8m_20t7_new wrench Detection preview by Segmentatation_v8_medium_train_250 wrench Detection preview by Segmentation_V11_large_300_train_300 wrench Detection preview by Segmentation_v8_large_300_train_300
Original Image: P07824.jpg
GT: scissors
scissor Detection preview by Box_v11_medium_train_SIXray_OPIXray No objects detected Detection preview by DN_Medium_300_yolov8m_20t7_new scissor Detection preview by Segmentatation_v8_medium_train_250 scissor Detection preview by Segmentation_V11_large_300_train_300 scissor Detection preview by Segmentation_v8_large_300_train_300
Original Image: P07825.jpg
GT: scissors
scissor Detection preview by Box_v11_medium_train_SIXray_OPIXray No objects detected Detection preview by DN_Medium_300_yolov8m_20t7_new scissor Detection preview by Segmentatation_v8_medium_train_250 scissor Detection preview by Segmentation_V11_large_300_train_300 scissor Detection preview by Segmentation_v8_large_300_train_300
Original Image: P07826.jpg
GT: pliers, scissors
pliers, scissor Detection preview by Box_v11_medium_train_SIXray_OPIXray No objects detected Detection preview by DN_Medium_300_yolov8m_20t7_new scissor Detection preview by Segmentatation_v8_medium_train_250 scissor Detection preview by Segmentation_V11_large_300_train_300 scissor Detection preview by Segmentation_v8_large_300_train_300
Original Image: P07827.jpg
GT: pliers, scissors
pliers, scissor Detection preview by Box_v11_medium_train_SIXray_OPIXray No objects detected Detection preview by DN_Medium_300_yolov8m_20t7_new scissor Detection preview by Segmentatation_v8_medium_train_250 scissor Detection preview by Segmentation_V11_large_300_train_300 scissor Detection preview by Segmentation_v8_large_300_train_300
Original Image: P07828.jpg
GT: pliers, scissors
pliers, scissor Detection preview by Box_v11_medium_train_SIXray_OPIXray scissor Detection preview by DN_Medium_300_yolov8m_20t7_new scissor Detection preview by Segmentatation_v8_medium_train_250 scissor Detection preview by Segmentation_V11_large_300_train_300 scissor Detection preview by Segmentation_v8_large_300_train_300
Original Image: P07829.jpg
GT: pliers, scissors
pliers, scissor Detection preview by Box_v11_medium_train_SIXray_OPIXray No objects detected Detection preview by DN_Medium_300_yolov8m_20t7_new scissor Detection preview by Segmentatation_v8_medium_train_250 scissor Detection preview by Segmentation_V11_large_300_train_300 scissor Detection preview by Segmentation_v8_large_300_train_300
Original Image: P07830.jpg
GT: pliers, scissors
pliers, scissor Detection preview by Box_v11_medium_train_SIXray_OPIXray scissor Detection preview by DN_Medium_300_yolov8m_20t7_new scissor Detection preview by Segmentatation_v8_medium_train_250 scissor Detection preview by Segmentation_V11_large_300_train_300 scissor Detection preview by Segmentation_v8_large_300_train_300
Original Image: P07831.jpg
GT: pliers, scissors
pliers, scissor Detection preview by Box_v11_medium_train_SIXray_OPIXray No objects detected Detection preview by DN_Medium_300_yolov8m_20t7_new scissor Detection preview by Segmentatation_v8_medium_train_250 scissor Detection preview by Segmentation_V11_large_300_train_300 scissor Detection preview by Segmentation_v8_large_300_train_300
Original Image: P07832.jpg
GT: pliers, scissors
pliers, scissor Detection preview by Box_v11_medium_train_SIXray_OPIXray No objects detected Detection preview by DN_Medium_300_yolov8m_20t7_new scissor Detection preview by Segmentatation_v8_medium_train_250 scissor Detection preview by Segmentation_V11_large_300_train_300 scissor Detection preview by Segmentation_v8_large_300_train_300
Original Image: P07833.jpg
GT: scissors
scissor Detection preview by Box_v11_medium_train_SIXray_OPIXray No objects detected Detection preview by DN_Medium_300_yolov8m_20t7_new scissor Detection preview by Segmentatation_v8_medium_train_250 scissor Detection preview by Segmentation_V11_large_300_train_300 scissor Detection preview by Segmentation_v8_large_300_train_300
Original Image: P07834.jpg
GT: scissors
scissor Detection preview by Box_v11_medium_train_SIXray_OPIXray No objects detected Detection preview by DN_Medium_300_yolov8m_20t7_new scissor Detection preview by Segmentatation_v8_medium_train_250 scissor Detection preview by Segmentation_V11_large_300_train_300 scissor Detection preview by Segmentation_v8_large_300_train_300
Original Image: P07835.jpg
GT: scissors
scissor Detection preview by Box_v11_medium_train_SIXray_OPIXray No objects detected Detection preview by DN_Medium_300_yolov8m_20t7_new scissor Detection preview by Segmentatation_v8_medium_train_250 scissor Detection preview by Segmentation_V11_large_300_train_300 scissor Detection preview by Segmentation_v8_large_300_train_300
Original Image: P07836.jpg
GT: pliers
pliers Detection preview by Box_v11_medium_train_SIXray_OPIXray pliers Detection preview by DN_Medium_300_yolov8m_20t7_new No objects detected Detection preview by Segmentatation_v8_medium_train_250 No objects detected Detection preview by Segmentation_V11_large_300_train_300 No objects detected Detection preview by Segmentation_v8_large_300_train_300
Original Image: P07837.jpg
GT: pliers
pliers Detection preview by Box_v11_medium_train_SIXray_OPIXray No objects detected Detection preview by DN_Medium_300_yolov8m_20t7_new No objects detected Detection preview by Segmentatation_v8_medium_train_250 No objects detected Detection preview by Segmentation_V11_large_300_train_300 No objects detected Detection preview by Segmentation_v8_large_300_train_300
Original Image: P07838.jpg
GT: pliers
pliers Detection preview by Box_v11_medium_train_SIXray_OPIXray No objects detected Detection preview by DN_Medium_300_yolov8m_20t7_new No objects detected Detection preview by Segmentatation_v8_medium_train_250 No objects detected Detection preview by Segmentation_V11_large_300_train_300 No objects detected Detection preview by Segmentation_v8_large_300_train_300
Original Image: P07839.jpg
GT: pliers, wrench
pliers, wrench Detection preview by Box_v11_medium_train_SIXray_OPIXray No objects detected Detection preview by DN_Medium_300_yolov8m_20t7_new wrench Detection preview by Segmentatation_v8_medium_train_250 wrench Detection preview by Segmentation_V11_large_300_train_300 wrench Detection preview by Segmentation_v8_large_300_train_300
Original Image: P07840.jpg
GT: pliers, wrench
pliers, wrench Detection preview by Box_v11_medium_train_SIXray_OPIXray No objects detected Detection preview by DN_Medium_300_yolov8m_20t7_new wrench Detection preview by Segmentatation_v8_medium_train_250 wrench Detection preview by Segmentation_V11_large_300_train_300 wrench Detection preview by Segmentation_v8_large_300_train_300
Original Image: P07841.jpg
GT: pliers
pliers Detection preview by Box_v11_medium_train_SIXray_OPIXray No objects detected Detection preview by DN_Medium_300_yolov8m_20t7_new No objects detected Detection preview by Segmentatation_v8_medium_train_250 No objects detected Detection preview by Segmentation_V11_large_300_train_300 No objects detected Detection preview by Segmentation_v8_large_300_train_300
Original Image: P07842.jpg
GT: wrench
wrench Detection preview by Box_v11_medium_train_SIXray_OPIXray No objects detected Detection preview by DN_Medium_300_yolov8m_20t7_new wrench Detection preview by Segmentatation_v8_medium_train_250 wrench Detection preview by Segmentation_V11_large_300_train_300 wrench Detection preview by Segmentation_v8_large_300_train_300
Original Image: P07843.jpg
GT: pliers
pliers Detection preview by Box_v11_medium_train_SIXray_OPIXray No objects detected Detection preview by DN_Medium_300_yolov8m_20t7_new No objects detected Detection preview by Segmentatation_v8_medium_train_250 No objects detected Detection preview by Segmentation_V11_large_300_train_300 No objects detected Detection preview by Segmentation_v8_large_300_train_300
Original Image: P07844.jpg
GT: knife, pliers
knife, pliers Detection preview by Box_v11_medium_train_SIXray_OPIXray pliers Detection preview by DN_Medium_300_yolov8m_20t7_new knife Detection preview by Segmentatation_v8_medium_train_250 knife Detection preview by Segmentation_V11_large_300_train_300 knife Detection preview by Segmentation_v8_large_300_train_300
Original Image: P07845.jpg
GT: knife, pliers
knife, pliers Detection preview by Box_v11_medium_train_SIXray_OPIXray pliers Detection preview by DN_Medium_300_yolov8m_20t7_new knife Detection preview by Segmentatation_v8_medium_train_250 knife Detection preview by Segmentation_V11_large_300_train_300 knife Detection preview by Segmentation_v8_large_300_train_300
Original Image: P07846.jpg
GT: pliers, wrench
pliers, wrench Detection preview by Box_v11_medium_train_SIXray_OPIXray pliers Detection preview by DN_Medium_300_yolov8m_20t7_new wrench Detection preview by Segmentatation_v8_medium_train_250 wrench Detection preview by Segmentation_V11_large_300_train_300 wrench Detection preview by Segmentation_v8_large_300_train_300
Original Image: P07847.jpg
GT: pliers, wrench
pliers, wrench Detection preview by Box_v11_medium_train_SIXray_OPIXray pliers Detection preview by DN_Medium_300_yolov8m_20t7_new wrench Detection preview by Segmentatation_v8_medium_train_250 wrench Detection preview by Segmentation_V11_large_300_train_300 wrench Detection preview by Segmentation_v8_large_300_train_300
Original Image: P07848.jpg
GT: scissors
scissor Detection preview by Box_v11_medium_train_SIXray_OPIXray No objects detected Detection preview by DN_Medium_300_yolov8m_20t7_new scissor Detection preview by Segmentatation_v8_medium_train_250 scissor Detection preview by Segmentation_V11_large_300_train_300 scissor Detection preview by Segmentation_v8_large_300_train_300
Original Image: P07849.jpg
GT: pliers
pliers Detection preview by Box_v11_medium_train_SIXray_OPIXray pliers Detection preview by DN_Medium_300_yolov8m_20t7_new No objects detected Detection preview by Segmentatation_v8_medium_train_250 No objects detected Detection preview by Segmentation_V11_large_300_train_300 No objects detected Detection preview by Segmentation_v8_large_300_train_300
Original Image: P07850.jpg
GT: pliers
pliers Detection preview by Box_v11_medium_train_SIXray_OPIXray pliers Detection preview by DN_Medium_300_yolov8m_20t7_new No objects detected Detection preview by Segmentatation_v8_medium_train_250 No objects detected Detection preview by Segmentation_V11_large_300_train_300 No objects detected Detection preview by Segmentation_v8_large_300_train_300
Original Image: P07851.jpg
GT: pliers
pliers Detection preview by Box_v11_medium_train_SIXray_OPIXray pliers Detection preview by DN_Medium_300_yolov8m_20t7_new No objects detected Detection preview by Segmentatation_v8_medium_train_250 No objects detected Detection preview by Segmentation_V11_large_300_train_300 No objects detected Detection preview by Segmentation_v8_large_300_train_300
Original Image: P07852.jpg
GT: pliers
pliers Detection preview by Box_v11_medium_train_SIXray_OPIXray pliers Detection preview by DN_Medium_300_yolov8m_20t7_new No objects detected Detection preview by Segmentatation_v8_medium_train_250 No objects detected Detection preview by Segmentation_V11_large_300_train_300 No objects detected Detection preview by Segmentation_v8_large_300_train_300
Original Image: P07853.jpg
GT: wrench
wrench Detection preview by Box_v11_medium_train_SIXray_OPIXray No objects detected Detection preview by DN_Medium_300_yolov8m_20t7_new wrench Detection preview by Segmentatation_v8_medium_train_250 wrench Detection preview by Segmentation_V11_large_300_train_300 wrench Detection preview by Segmentation_v8_large_300_train_300
Original Image: P07854.jpg
GT: wrench
wrench Detection preview by Box_v11_medium_train_SIXray_OPIXray No objects detected Detection preview by DN_Medium_300_yolov8m_20t7_new wrench Detection preview by Segmentatation_v8_medium_train_250 wrench Detection preview by Segmentation_V11_large_300_train_300 wrench Detection preview by Segmentation_v8_large_300_train_300
Original Image: P07855.jpg
GT: pliers
pliers Detection preview by Box_v11_medium_train_SIXray_OPIXray pliers Detection preview by DN_Medium_300_yolov8m_20t7_new No objects detected Detection preview by Segmentatation_v8_medium_train_250 wrench Detection preview by Segmentation_V11_large_300_train_300 No objects detected Detection preview by Segmentation_v8_large_300_train_300
Original Image: P07856.jpg
GT: scissors, wrench
scissor, wrench Detection preview by Box_v11_medium_train_SIXray_OPIXray No objects detected Detection preview by DN_Medium_300_yolov8m_20t7_new scissor, wrench Detection preview by Segmentatation_v8_medium_train_250 scissor, wrench Detection preview by Segmentation_V11_large_300_train_300 scissor, wrench Detection preview by Segmentation_v8_large_300_train_300
Original Image: P07857.jpg
GT: pliers
pliers Detection preview by Box_v11_medium_train_SIXray_OPIXray No objects detected Detection preview by DN_Medium_300_yolov8m_20t7_new No objects detected Detection preview by Segmentatation_v8_medium_train_250 No objects detected Detection preview by Segmentation_V11_large_300_train_300 No objects detected Detection preview by Segmentation_v8_large_300_train_300
Original Image: P07858.jpg
GT: pliers
pliers Detection preview by Box_v11_medium_train_SIXray_OPIXray No objects detected Detection preview by DN_Medium_300_yolov8m_20t7_new No objects detected Detection preview by Segmentatation_v8_medium_train_250 No objects detected Detection preview by Segmentation_V11_large_300_train_300 No objects detected Detection preview by Segmentation_v8_large_300_train_300
Original Image: P07859.jpg
GT: pliers, wrench
pliers, wrench Detection preview by Box_v11_medium_train_SIXray_OPIXray No objects detected Detection preview by DN_Medium_300_yolov8m_20t7_new wrench Detection preview by Segmentatation_v8_medium_train_250 wrench Detection preview by Segmentation_V11_large_300_train_300 wrench Detection preview by Segmentation_v8_large_300_train_300
Original Image: P07860.jpg
GT: pliers, wrench
pliers, wrench Detection preview by Box_v11_medium_train_SIXray_OPIXray No objects detected Detection preview by DN_Medium_300_yolov8m_20t7_new wrench Detection preview by Segmentatation_v8_medium_train_250 wrench Detection preview by Segmentation_V11_large_300_train_300 wrench Detection preview by Segmentation_v8_large_300_train_300
Original Image: P07861.jpg
GT: wrench
wrench Detection preview by Box_v11_medium_train_SIXray_OPIXray scissor Detection preview by DN_Medium_300_yolov8m_20t7_new wrench Detection preview by Segmentatation_v8_medium_train_250 wrench Detection preview by Segmentation_V11_large_300_train_300 wrench Detection preview by Segmentation_v8_large_300_train_300
Original Image: P07862.jpg
GT: wrench
wrench Detection preview by Box_v11_medium_train_SIXray_OPIXray No objects detected Detection preview by DN_Medium_300_yolov8m_20t7_new wrench Detection preview by Segmentatation_v8_medium_train_250 wrench Detection preview by Segmentation_V11_large_300_train_300 wrench Detection preview by Segmentation_v8_large_300_train_300
Original Image: P07863.jpg
GT: wrench
wrench Detection preview by Box_v11_medium_train_SIXray_OPIXray No objects detected Detection preview by DN_Medium_300_yolov8m_20t7_new wrench Detection preview by Segmentatation_v8_medium_train_250 wrench Detection preview by Segmentation_V11_large_300_train_300 wrench Detection preview by Segmentation_v8_large_300_train_300
Original Image: P07864.jpg
GT: wrench
wrench Detection preview by Box_v11_medium_train_SIXray_OPIXray scissor Detection preview by DN_Medium_300_yolov8m_20t7_new wrench Detection preview by Segmentatation_v8_medium_train_250 wrench Detection preview by Segmentation_V11_large_300_train_300 wrench Detection preview by Segmentation_v8_large_300_train_300
Original Image: P07865.jpg
GT: wrench
wrench Detection preview by Box_v11_medium_train_SIXray_OPIXray No objects detected Detection preview by DN_Medium_300_yolov8m_20t7_new wrench Detection preview by Segmentatation_v8_medium_train_250 wrench Detection preview by Segmentation_V11_large_300_train_300 wrench Detection preview by Segmentation_v8_large_300_train_300
Original Image: P07866.jpg
GT: wrench
wrench Detection preview by Box_v11_medium_train_SIXray_OPIXray No objects detected Detection preview by DN_Medium_300_yolov8m_20t7_new wrench Detection preview by Segmentatation_v8_medium_train_250 wrench Detection preview by Segmentation_V11_large_300_train_300 wrench Detection preview by Segmentation_v8_large_300_train_300
Original Image: P07867.jpg
GT: wrench
wrench Detection preview by Box_v11_medium_train_SIXray_OPIXray scissor Detection preview by DN_Medium_300_yolov8m_20t7_new wrench Detection preview by Segmentatation_v8_medium_train_250 wrench Detection preview by Segmentation_V11_large_300_train_300 wrench Detection preview by Segmentation_v8_large_300_train_300
Original Image: P07868.jpg
GT: wrench
wrench Detection preview by Box_v11_medium_train_SIXray_OPIXray No objects detected Detection preview by DN_Medium_300_yolov8m_20t7_new wrench Detection preview by Segmentatation_v8_medium_train_250 wrench Detection preview by Segmentation_V11_large_300_train_300 wrench Detection preview by Segmentation_v8_large_300_train_300
Original Image: P07869.jpg
GT: wrench
wrench Detection preview by Box_v11_medium_train_SIXray_OPIXray No objects detected Detection preview by DN_Medium_300_yolov8m_20t7_new wrench Detection preview by Segmentatation_v8_medium_train_250 wrench Detection preview by Segmentation_V11_large_300_train_300 wrench Detection preview by Segmentation_v8_large_300_train_300
Original Image: P07870.jpg
GT: wrench
wrench Detection preview by Box_v11_medium_train_SIXray_OPIXray scissor Detection preview by DN_Medium_300_yolov8m_20t7_new wrench Detection preview by Segmentatation_v8_medium_train_250 wrench Detection preview by Segmentation_V11_large_300_train_300 wrench Detection preview by Segmentation_v8_large_300_train_300
Original Image: P07871.jpg
GT: wrench
wrench Detection preview by Box_v11_medium_train_SIXray_OPIXray No objects detected Detection preview by DN_Medium_300_yolov8m_20t7_new wrench Detection preview by Segmentatation_v8_medium_train_250 wrench Detection preview by Segmentation_V11_large_300_train_300 wrench Detection preview by Segmentation_v8_large_300_train_300
Original Image: P07872.jpg
GT: wrench
wrench Detection preview by Box_v11_medium_train_SIXray_OPIXray No objects detected Detection preview by DN_Medium_300_yolov8m_20t7_new wrench Detection preview by Segmentatation_v8_medium_train_250 wrench Detection preview by Segmentation_V11_large_300_train_300 wrench Detection preview by Segmentation_v8_large_300_train_300
Original Image: P07873.jpg
GT: wrench
wrench Detection preview by Box_v11_medium_train_SIXray_OPIXray No objects detected Detection preview by DN_Medium_300_yolov8m_20t7_new wrench Detection preview by Segmentatation_v8_medium_train_250 wrench Detection preview by Segmentation_V11_large_300_train_300 wrench Detection preview by Segmentation_v8_large_300_train_300
Original Image: P07874.jpg
GT: pliers, wrench
pliers, wrench Detection preview by Box_v11_medium_train_SIXray_OPIXray No objects detected Detection preview by DN_Medium_300_yolov8m_20t7_new wrench Detection preview by Segmentatation_v8_medium_train_250 wrench Detection preview by Segmentation_V11_large_300_train_300 wrench Detection preview by Segmentation_v8_large_300_train_300
Original Image: P07875.jpg
GT: pliers, wrench
pliers, wrench Detection preview by Box_v11_medium_train_SIXray_OPIXray No objects detected Detection preview by DN_Medium_300_yolov8m_20t7_new wrench Detection preview by Segmentatation_v8_medium_train_250 wrench Detection preview by Segmentation_V11_large_300_train_300 wrench Detection preview by Segmentation_v8_large_300_train_300
Original Image: P07876.jpg
GT: pliers, wrench
pliers, wrench Detection preview by Box_v11_medium_train_SIXray_OPIXray No objects detected Detection preview by DN_Medium_300_yolov8m_20t7_new wrench Detection preview by Segmentatation_v8_medium_train_250 wrench Detection preview by Segmentation_V11_large_300_train_300 wrench Detection preview by Segmentation_v8_large_300_train_300
Original Image: P07877.jpg
GT: pliers, wrench
pliers, wrench Detection preview by Box_v11_medium_train_SIXray_OPIXray No objects detected Detection preview by DN_Medium_300_yolov8m_20t7_new wrench Detection preview by Segmentatation_v8_medium_train_250 wrench Detection preview by Segmentation_V11_large_300_train_300 wrench Detection preview by Segmentation_v8_large_300_train_300
Original Image: P07878.jpg
GT: pliers, wrench
pliers, wrench Detection preview by Box_v11_medium_train_SIXray_OPIXray No objects detected Detection preview by DN_Medium_300_yolov8m_20t7_new wrench Detection preview by Segmentatation_v8_medium_train_250 wrench Detection preview by Segmentation_V11_large_300_train_300 wrench Detection preview by Segmentation_v8_large_300_train_300
Original Image: P07879.jpg
GT: pliers
pliers Detection preview by Box_v11_medium_train_SIXray_OPIXray No objects detected Detection preview by DN_Medium_300_yolov8m_20t7_new No objects detected Detection preview by Segmentatation_v8_medium_train_250 No objects detected Detection preview by Segmentation_V11_large_300_train_300 No objects detected Detection preview by Segmentation_v8_large_300_train_300
Original Image: P07880.jpg
GT: pliers
pliers Detection preview by Box_v11_medium_train_SIXray_OPIXray pliers Detection preview by DN_Medium_300_yolov8m_20t7_new No objects detected Detection preview by Segmentatation_v8_medium_train_250 No objects detected Detection preview by Segmentation_V11_large_300_train_300 No objects detected Detection preview by Segmentation_v8_large_300_train_300
Original Image: P07881.jpg
GT: pliers
pliers Detection preview by Box_v11_medium_train_SIXray_OPIXray No objects detected Detection preview by DN_Medium_300_yolov8m_20t7_new No objects detected Detection preview by Segmentatation_v8_medium_train_250 No objects detected Detection preview by Segmentation_V11_large_300_train_300 No objects detected Detection preview by Segmentation_v8_large_300_train_300
Original Image: P07882.jpg
GT: pliers
pliers Detection preview by Box_v11_medium_train_SIXray_OPIXray pliers Detection preview by DN_Medium_300_yolov8m_20t7_new No objects detected Detection preview by Segmentatation_v8_medium_train_250 wrench Detection preview by Segmentation_V11_large_300_train_300 No objects detected Detection preview by Segmentation_v8_large_300_train_300
Original Image: P07883.jpg
GT: pliers
pliers Detection preview by Box_v11_medium_train_SIXray_OPIXray No objects detected Detection preview by DN_Medium_300_yolov8m_20t7_new No objects detected Detection preview by Segmentatation_v8_medium_train_250 wrench Detection preview by Segmentation_V11_large_300_train_300 wrench Detection preview by Segmentation_v8_large_300_train_300
Original Image: P07884.jpg
GT: scissors
scissor Detection preview by Box_v11_medium_train_SIXray_OPIXray No objects detected Detection preview by DN_Medium_300_yolov8m_20t7_new scissor Detection preview by Segmentatation_v8_medium_train_250 scissor Detection preview by Segmentation_V11_large_300_train_300 scissor Detection preview by Segmentation_v8_large_300_train_300
Original Image: P07885.jpg
GT: scissors
scissor Detection preview by Box_v11_medium_train_SIXray_OPIXray No objects detected Detection preview by DN_Medium_300_yolov8m_20t7_new scissor Detection preview by Segmentatation_v8_medium_train_250 scissor Detection preview by Segmentation_V11_large_300_train_300 scissor Detection preview by Segmentation_v8_large_300_train_300
Original Image: P07886.jpg
GT: scissors
scissor Detection preview by Box_v11_medium_train_SIXray_OPIXray No objects detected Detection preview by DN_Medium_300_yolov8m_20t7_new scissor Detection preview by Segmentatation_v8_medium_train_250 scissor Detection preview by Segmentation_V11_large_300_train_300 scissor Detection preview by Segmentation_v8_large_300_train_300
Original Image: P07887.jpg
GT: pliers
pliers Detection preview by Box_v11_medium_train_SIXray_OPIXray No objects detected Detection preview by DN_Medium_300_yolov8m_20t7_new No objects detected Detection preview by Segmentatation_v8_medium_train_250 No objects detected Detection preview by Segmentation_V11_large_300_train_300 No objects detected Detection preview by Segmentation_v8_large_300_train_300
Original Image: P07888.jpg
GT: pliers
pliers Detection preview by Box_v11_medium_train_SIXray_OPIXray No objects detected Detection preview by DN_Medium_300_yolov8m_20t7_new No objects detected Detection preview by Segmentatation_v8_medium_train_250 No objects detected Detection preview by Segmentation_V11_large_300_train_300 No objects detected Detection preview by Segmentation_v8_large_300_train_300
Original Image: P07889.jpg
GT: pliers
pliers Detection preview by Box_v11_medium_train_SIXray_OPIXray No objects detected Detection preview by DN_Medium_300_yolov8m_20t7_new No objects detected Detection preview by Segmentatation_v8_medium_train_250 No objects detected Detection preview by Segmentation_V11_large_300_train_300 No objects detected Detection preview by Segmentation_v8_large_300_train_300
Original Image: P07890.jpg
GT: pliers
pliers Detection preview by Box_v11_medium_train_SIXray_OPIXray pliers Detection preview by DN_Medium_300_yolov8m_20t7_new No objects detected Detection preview by Segmentatation_v8_medium_train_250 No objects detected Detection preview by Segmentation_V11_large_300_train_300 No objects detected Detection preview by Segmentation_v8_large_300_train_300
Original Image: P07891.jpg
GT: pliers
pliers Detection preview by Box_v11_medium_train_SIXray_OPIXray pliers Detection preview by DN_Medium_300_yolov8m_20t7_new No objects detected Detection preview by Segmentatation_v8_medium_train_250 No objects detected Detection preview by Segmentation_V11_large_300_train_300 No objects detected Detection preview by Segmentation_v8_large_300_train_300
Original Image: P07892.jpg
GT: pliers
pliers Detection preview by Box_v11_medium_train_SIXray_OPIXray pliers Detection preview by DN_Medium_300_yolov8m_20t7_new No objects detected Detection preview by Segmentatation_v8_medium_train_250 No objects detected Detection preview by Segmentation_V11_large_300_train_300 No objects detected Detection preview by Segmentation_v8_large_300_train_300
Original Image: P07893.jpg
GT: pliers
pliers Detection preview by Box_v11_medium_train_SIXray_OPIXray No objects detected Detection preview by DN_Medium_300_yolov8m_20t7_new No objects detected Detection preview by Segmentatation_v8_medium_train_250 No objects detected Detection preview by Segmentation_V11_large_300_train_300 No objects detected Detection preview by Segmentation_v8_large_300_train_300
Original Image: P07894.jpg
GT: pliers, wrench
pliers, wrench Detection preview by Box_v11_medium_train_SIXray_OPIXray No objects detected Detection preview by DN_Medium_300_yolov8m_20t7_new wrench Detection preview by Segmentatation_v8_medium_train_250 wrench Detection preview by Segmentation_V11_large_300_train_300 wrench Detection preview by Segmentation_v8_large_300_train_300
Original Image: P07895.jpg
GT: pliers, wrench
pliers, wrench Detection preview by Box_v11_medium_train_SIXray_OPIXray No objects detected Detection preview by DN_Medium_300_yolov8m_20t7_new wrench Detection preview by Segmentatation_v8_medium_train_250 wrench Detection preview by Segmentation_V11_large_300_train_300 wrench Detection preview by Segmentation_v8_large_300_train_300
Original Image: P07896.jpg
GT: pliers, wrench
pliers, wrench Detection preview by Box_v11_medium_train_SIXray_OPIXray No objects detected Detection preview by DN_Medium_300_yolov8m_20t7_new wrench Detection preview by Segmentatation_v8_medium_train_250 wrench Detection preview by Segmentation_V11_large_300_train_300 wrench Detection preview by Segmentation_v8_large_300_train_300
Original Image: P07897.jpg
GT: pliers, wrench
pliers, wrench Detection preview by Box_v11_medium_train_SIXray_OPIXray No objects detected Detection preview by DN_Medium_300_yolov8m_20t7_new wrench Detection preview by Segmentatation_v8_medium_train_250 wrench Detection preview by Segmentation_V11_large_300_train_300 wrench Detection preview by Segmentation_v8_large_300_train_300
Original Image: P07898.jpg
GT: pliers
pliers Detection preview by Box_v11_medium_train_SIXray_OPIXray No objects detected Detection preview by DN_Medium_300_yolov8m_20t7_new No objects detected Detection preview by Segmentatation_v8_medium_train_250 No objects detected Detection preview by Segmentation_V11_large_300_train_300 No objects detected Detection preview by Segmentation_v8_large_300_train_300
Original Image: P07899.jpg
GT: pliers
pliers Detection preview by Box_v11_medium_train_SIXray_OPIXray No objects detected Detection preview by DN_Medium_300_yolov8m_20t7_new No objects detected Detection preview by Segmentatation_v8_medium_train_250 No objects detected Detection preview by Segmentation_V11_large_300_train_300 No objects detected Detection preview by Segmentation_v8_large_300_train_300
Original Image: P07900.jpg
GT: pliers
pliers Detection preview by Box_v11_medium_train_SIXray_OPIXray No objects detected Detection preview by DN_Medium_300_yolov8m_20t7_new No objects detected Detection preview by Segmentatation_v8_medium_train_250 No objects detected Detection preview by Segmentation_V11_large_300_train_300 No objects detected Detection preview by Segmentation_v8_large_300_train_300
Original Image: P07901.jpg
GT: pliers
pliers Detection preview by Box_v11_medium_train_SIXray_OPIXray No objects detected Detection preview by DN_Medium_300_yolov8m_20t7_new No objects detected Detection preview by Segmentatation_v8_medium_train_250 No objects detected Detection preview by Segmentation_V11_large_300_train_300 No objects detected Detection preview by Segmentation_v8_large_300_train_300
Original Image: P07902.jpg
GT: pliers
pliers Detection preview by Box_v11_medium_train_SIXray_OPIXray No objects detected Detection preview by DN_Medium_300_yolov8m_20t7_new No objects detected Detection preview by Segmentatation_v8_medium_train_250 No objects detected Detection preview by Segmentation_V11_large_300_train_300 No objects detected Detection preview by Segmentation_v8_large_300_train_300
Original Image: P07903.jpg
GT: pliers
pliers Detection preview by Box_v11_medium_train_SIXray_OPIXray No objects detected Detection preview by DN_Medium_300_yolov8m_20t7_new No objects detected Detection preview by Segmentatation_v8_medium_train_250 No objects detected Detection preview by Segmentation_V11_large_300_train_300 No objects detected Detection preview by Segmentation_v8_large_300_train_300
Original Image: P07904.jpg
GT: scissors
scissor Detection preview by Box_v11_medium_train_SIXray_OPIXray No objects detected Detection preview by DN_Medium_300_yolov8m_20t7_new scissor Detection preview by Segmentatation_v8_medium_train_250 scissor Detection preview by Segmentation_V11_large_300_train_300 scissor Detection preview by Segmentation_v8_large_300_train_300
Original Image: P07905.jpg
GT: pliers
pliers Detection preview by Box_v11_medium_train_SIXray_OPIXray pliers Detection preview by DN_Medium_300_yolov8m_20t7_new No objects detected Detection preview by Segmentatation_v8_medium_train_250 No objects detected Detection preview by Segmentation_V11_large_300_train_300 No objects detected Detection preview by Segmentation_v8_large_300_train_300
Original Image: P07906.jpg
GT: scissors
scissor Detection preview by Box_v11_medium_train_SIXray_OPIXray No objects detected Detection preview by DN_Medium_300_yolov8m_20t7_new scissor Detection preview by Segmentatation_v8_medium_train_250 scissor Detection preview by Segmentation_V11_large_300_train_300 scissor Detection preview by Segmentation_v8_large_300_train_300
Original Image: P07907.jpg
GT: scissors
scissor Detection preview by Box_v11_medium_train_SIXray_OPIXray No objects detected Detection preview by DN_Medium_300_yolov8m_20t7_new scissor Detection preview by Segmentatation_v8_medium_train_250 scissor Detection preview by Segmentation_V11_large_300_train_300 scissor Detection preview by Segmentation_v8_large_300_train_300
Original Image: P07908.jpg
GT: scissors
scissor Detection preview by Box_v11_medium_train_SIXray_OPIXray No objects detected Detection preview by DN_Medium_300_yolov8m_20t7_new scissor Detection preview by Segmentatation_v8_medium_train_250 scissor Detection preview by Segmentation_V11_large_300_train_300 scissor Detection preview by Segmentation_v8_large_300_train_300
Original Image: P07909.jpg
GT: pliers, wrench
pliers, wrench Detection preview by Box_v11_medium_train_SIXray_OPIXray No objects detected Detection preview by DN_Medium_300_yolov8m_20t7_new wrench Detection preview by Segmentatation_v8_medium_train_250 wrench Detection preview by Segmentation_V11_large_300_train_300 wrench Detection preview by Segmentation_v8_large_300_train_300
Original Image: P07910.jpg
GT: pliers, wrench
pliers, wrench Detection preview by Box_v11_medium_train_SIXray_OPIXray No objects detected Detection preview by DN_Medium_300_yolov8m_20t7_new wrench Detection preview by Segmentatation_v8_medium_train_250 wrench Detection preview by Segmentation_V11_large_300_train_300 wrench Detection preview by Segmentation_v8_large_300_train_300
Original Image: P07911.jpg
GT: wrench
wrench Detection preview by Box_v11_medium_train_SIXray_OPIXray No objects detected Detection preview by DN_Medium_300_yolov8m_20t7_new wrench Detection preview by Segmentatation_v8_medium_train_250 wrench Detection preview by Segmentation_V11_large_300_train_300 wrench Detection preview by Segmentation_v8_large_300_train_300
Original Image: P07912.jpg
GT: wrench
wrench Detection preview by Box_v11_medium_train_SIXray_OPIXray No objects detected Detection preview by DN_Medium_300_yolov8m_20t7_new wrench Detection preview by Segmentatation_v8_medium_train_250 wrench Detection preview by Segmentation_V11_large_300_train_300 wrench Detection preview by Segmentation_v8_large_300_train_300
Original Image: P07913.jpg
GT: pliers
pliers Detection preview by Box_v11_medium_train_SIXray_OPIXray pliers Detection preview by DN_Medium_300_yolov8m_20t7_new No objects detected Detection preview by Segmentatation_v8_medium_train_250 No objects detected Detection preview by Segmentation_V11_large_300_train_300 No objects detected Detection preview by Segmentation_v8_large_300_train_300
Original Image: P07914.jpg
GT: pliers
pliers Detection preview by Box_v11_medium_train_SIXray_OPIXray pliers Detection preview by DN_Medium_300_yolov8m_20t7_new No objects detected Detection preview by Segmentatation_v8_medium_train_250 No objects detected Detection preview by Segmentation_V11_large_300_train_300 No objects detected Detection preview by Segmentation_v8_large_300_train_300
Original Image: P07915.jpg
GT: pliers
pliers Detection preview by Box_v11_medium_train_SIXray_OPIXray No objects detected Detection preview by DN_Medium_300_yolov8m_20t7_new No objects detected Detection preview by Segmentatation_v8_medium_train_250 No objects detected Detection preview by Segmentation_V11_large_300_train_300 No objects detected Detection preview by Segmentation_v8_large_300_train_300
Original Image: P07916.jpg
GT: pliers
pliers Detection preview by Box_v11_medium_train_SIXray_OPIXray No objects detected Detection preview by DN_Medium_300_yolov8m_20t7_new No objects detected Detection preview by Segmentatation_v8_medium_train_250 No objects detected Detection preview by Segmentation_V11_large_300_train_300 No objects detected Detection preview by Segmentation_v8_large_300_train_300
Original Image: P07917.jpg
GT: pliers
pliers Detection preview by Box_v11_medium_train_SIXray_OPIXray No objects detected Detection preview by DN_Medium_300_yolov8m_20t7_new No objects detected Detection preview by Segmentatation_v8_medium_train_250 No objects detected Detection preview by Segmentation_V11_large_300_train_300 No objects detected Detection preview by Segmentation_v8_large_300_train_300
Original Image: P07918.jpg
GT: pliers
pliers Detection preview by Box_v11_medium_train_SIXray_OPIXray No objects detected Detection preview by DN_Medium_300_yolov8m_20t7_new No objects detected Detection preview by Segmentatation_v8_medium_train_250 No objects detected Detection preview by Segmentation_V11_large_300_train_300 No objects detected Detection preview by Segmentation_v8_large_300_train_300
Original Image: P07919.jpg
GT: pliers
pliers Detection preview by Box_v11_medium_train_SIXray_OPIXray No objects detected Detection preview by DN_Medium_300_yolov8m_20t7_new No objects detected Detection preview by Segmentatation_v8_medium_train_250 No objects detected Detection preview by Segmentation_V11_large_300_train_300 No objects detected Detection preview by Segmentation_v8_large_300_train_300
Original Image: P07920.jpg
GT: pliers
pliers Detection preview by Box_v11_medium_train_SIXray_OPIXray No objects detected Detection preview by DN_Medium_300_yolov8m_20t7_new No objects detected Detection preview by Segmentatation_v8_medium_train_250 No objects detected Detection preview by Segmentation_V11_large_300_train_300 No objects detected Detection preview by Segmentation_v8_large_300_train_300
Original Image: P07921.jpg
GT: pliers
pliers Detection preview by Box_v11_medium_train_SIXray_OPIXray No objects detected Detection preview by DN_Medium_300_yolov8m_20t7_new No objects detected Detection preview by Segmentatation_v8_medium_train_250 No objects detected Detection preview by Segmentation_V11_large_300_train_300 No objects detected Detection preview by Segmentation_v8_large_300_train_300
Original Image: P07922.jpg
GT: pliers
pliers Detection preview by Box_v11_medium_train_SIXray_OPIXray No objects detected Detection preview by DN_Medium_300_yolov8m_20t7_new No objects detected Detection preview by Segmentatation_v8_medium_train_250 No objects detected Detection preview by Segmentation_V11_large_300_train_300 No objects detected Detection preview by Segmentation_v8_large_300_train_300
Original Image: P07923.jpg
GT: pliers
pliers Detection preview by Box_v11_medium_train_SIXray_OPIXray No objects detected Detection preview by DN_Medium_300_yolov8m_20t7_new No objects detected Detection preview by Segmentatation_v8_medium_train_250 No objects detected Detection preview by Segmentation_V11_large_300_train_300 No objects detected Detection preview by Segmentation_v8_large_300_train_300
Original Image: P07924.jpg
GT: pliers
pliers Detection preview by Box_v11_medium_train_SIXray_OPIXray No objects detected Detection preview by DN_Medium_300_yolov8m_20t7_new No objects detected Detection preview by Segmentatation_v8_medium_train_250 No objects detected Detection preview by Segmentation_V11_large_300_train_300 No objects detected Detection preview by Segmentation_v8_large_300_train_300
Original Image: P07925.jpg
GT: pliers
pliers Detection preview by Box_v11_medium_train_SIXray_OPIXray No objects detected Detection preview by DN_Medium_300_yolov8m_20t7_new No objects detected Detection preview by Segmentatation_v8_medium_train_250 No objects detected Detection preview by Segmentation_V11_large_300_train_300 No objects detected Detection preview by Segmentation_v8_large_300_train_300
Original Image: P07926.jpg
GT: pliers, wrench
pliers, wrench Detection preview by Box_v11_medium_train_SIXray_OPIXray No objects detected Detection preview by DN_Medium_300_yolov8m_20t7_new wrench Detection preview by Segmentatation_v8_medium_train_250 wrench Detection preview by Segmentation_V11_large_300_train_300 wrench Detection preview by Segmentation_v8_large_300_train_300
Original Image: P07927.jpg
GT: pliers, wrench
pliers, wrench Detection preview by Box_v11_medium_train_SIXray_OPIXray No objects detected Detection preview by DN_Medium_300_yolov8m_20t7_new wrench Detection preview by Segmentatation_v8_medium_train_250 wrench Detection preview by Segmentation_V11_large_300_train_300 wrench Detection preview by Segmentation_v8_large_300_train_300
Original Image: P07928.jpg
GT: pliers
pliers Detection preview by Box_v11_medium_train_SIXray_OPIXray No objects detected Detection preview by DN_Medium_300_yolov8m_20t7_new No objects detected Detection preview by Segmentatation_v8_medium_train_250 No objects detected Detection preview by Segmentation_V11_large_300_train_300 No objects detected Detection preview by Segmentation_v8_large_300_train_300
Original Image: P07929.jpg
GT: pliers
pliers Detection preview by Box_v11_medium_train_SIXray_OPIXray No objects detected Detection preview by DN_Medium_300_yolov8m_20t7_new No objects detected Detection preview by Segmentatation_v8_medium_train_250 No objects detected Detection preview by Segmentation_V11_large_300_train_300 No objects detected Detection preview by Segmentation_v8_large_300_train_300
Original Image: P07930.jpg
GT: scissors
scissor Detection preview by Box_v11_medium_train_SIXray_OPIXray No objects detected Detection preview by DN_Medium_300_yolov8m_20t7_new scissor Detection preview by Segmentatation_v8_medium_train_250 scissor Detection preview by Segmentation_V11_large_300_train_300 scissor Detection preview by Segmentation_v8_large_300_train_300
Original Image: P07931.jpg
GT: pliers, wrench
pliers, wrench Detection preview by Box_v11_medium_train_SIXray_OPIXray No objects detected Detection preview by DN_Medium_300_yolov8m_20t7_new No objects detected Detection preview by Segmentatation_v8_medium_train_250 wrench Detection preview by Segmentation_V11_large_300_train_300 No objects detected Detection preview by Segmentation_v8_large_300_train_300
Original Image: P07932.jpg
GT: wrench
wrench Detection preview by Box_v11_medium_train_SIXray_OPIXray No objects detected Detection preview by DN_Medium_300_yolov8m_20t7_new wrench Detection preview by Segmentatation_v8_medium_train_250 wrench Detection preview by Segmentation_V11_large_300_train_300 wrench Detection preview by Segmentation_v8_large_300_train_300
Original Image: P07933.jpg
GT: pliers
pliers Detection preview by Box_v11_medium_train_SIXray_OPIXray No objects detected Detection preview by DN_Medium_300_yolov8m_20t7_new No objects detected Detection preview by Segmentatation_v8_medium_train_250 No objects detected Detection preview by Segmentation_V11_large_300_train_300 No objects detected Detection preview by Segmentation_v8_large_300_train_300
Original Image: P07934.jpg
GT: pliers
pliers Detection preview by Box_v11_medium_train_SIXray_OPIXray No objects detected Detection preview by DN_Medium_300_yolov8m_20t7_new No objects detected Detection preview by Segmentatation_v8_medium_train_250 No objects detected Detection preview by Segmentation_V11_large_300_train_300 No objects detected Detection preview by Segmentation_v8_large_300_train_300
Original Image: P07935.jpg
GT: scissors
scissor Detection preview by Box_v11_medium_train_SIXray_OPIXray scissor Detection preview by DN_Medium_300_yolov8m_20t7_new scissor Detection preview by Segmentatation_v8_medium_train_250 scissor Detection preview by Segmentation_V11_large_300_train_300 scissor Detection preview by Segmentation_v8_large_300_train_300
Original Image: P07936.jpg
GT: pliers, wrench
pliers, wrench Detection preview by Box_v11_medium_train_SIXray_OPIXray No objects detected Detection preview by DN_Medium_300_yolov8m_20t7_new wrench Detection preview by Segmentatation_v8_medium_train_250 wrench Detection preview by Segmentation_V11_large_300_train_300 wrench Detection preview by Segmentation_v8_large_300_train_300
Original Image: P07937.jpg
GT: pliers
pliers Detection preview by Box_v11_medium_train_SIXray_OPIXray No objects detected Detection preview by DN_Medium_300_yolov8m_20t7_new No objects detected Detection preview by Segmentatation_v8_medium_train_250 No objects detected Detection preview by Segmentation_V11_large_300_train_300 No objects detected Detection preview by Segmentation_v8_large_300_train_300
Original Image: P07938.jpg
GT: pliers, wrench
pliers, wrench Detection preview by Box_v11_medium_train_SIXray_OPIXray pliers Detection preview by DN_Medium_300_yolov8m_20t7_new wrench Detection preview by Segmentatation_v8_medium_train_250 wrench Detection preview by Segmentation_V11_large_300_train_300 wrench Detection preview by Segmentation_v8_large_300_train_300
Original Image: P07939.jpg
GT: pliers
pliers Detection preview by Box_v11_medium_train_SIXray_OPIXray No objects detected Detection preview by DN_Medium_300_yolov8m_20t7_new No objects detected Detection preview by Segmentatation_v8_medium_train_250 No objects detected Detection preview by Segmentation_V11_large_300_train_300 No objects detected Detection preview by Segmentation_v8_large_300_train_300
Original Image: P07940.jpg
GT: pliers
pliers Detection preview by Box_v11_medium_train_SIXray_OPIXray No objects detected Detection preview by DN_Medium_300_yolov8m_20t7_new No objects detected Detection preview by Segmentatation_v8_medium_train_250 No objects detected Detection preview by Segmentation_V11_large_300_train_300 No objects detected Detection preview by Segmentation_v8_large_300_train_300
Original Image: P07941.jpg
GT: pliers
pliers Detection preview by Box_v11_medium_train_SIXray_OPIXray No objects detected Detection preview by DN_Medium_300_yolov8m_20t7_new No objects detected Detection preview by Segmentatation_v8_medium_train_250 No objects detected Detection preview by Segmentation_V11_large_300_train_300 No objects detected Detection preview by Segmentation_v8_large_300_train_300
Original Image: P07942.jpg
GT: pliers
pliers Detection preview by Box_v11_medium_train_SIXray_OPIXray pliers Detection preview by DN_Medium_300_yolov8m_20t7_new No objects detected Detection preview by Segmentatation_v8_medium_train_250 No objects detected Detection preview by Segmentation_V11_large_300_train_300 No objects detected Detection preview by Segmentation_v8_large_300_train_300
Original Image: P07943.jpg
GT: pliers
pliers Detection preview by Box_v11_medium_train_SIXray_OPIXray No objects detected Detection preview by DN_Medium_300_yolov8m_20t7_new No objects detected Detection preview by Segmentatation_v8_medium_train_250 No objects detected Detection preview by Segmentation_V11_large_300_train_300 No objects detected Detection preview by Segmentation_v8_large_300_train_300
Original Image: P07944.jpg
GT: pliers
pliers Detection preview by Box_v11_medium_train_SIXray_OPIXray No objects detected Detection preview by DN_Medium_300_yolov8m_20t7_new No objects detected Detection preview by Segmentatation_v8_medium_train_250 No objects detected Detection preview by Segmentation_V11_large_300_train_300 No objects detected Detection preview by Segmentation_v8_large_300_train_300
Original Image: P07945.jpg
GT: pliers
pliers Detection preview by Box_v11_medium_train_SIXray_OPIXray No objects detected Detection preview by DN_Medium_300_yolov8m_20t7_new No objects detected Detection preview by Segmentatation_v8_medium_train_250 No objects detected Detection preview by Segmentation_V11_large_300_train_300 No objects detected Detection preview by Segmentation_v8_large_300_train_300
Original Image: P07946.jpg
GT: pliers
pliers Detection preview by Box_v11_medium_train_SIXray_OPIXray No objects detected Detection preview by DN_Medium_300_yolov8m_20t7_new No objects detected Detection preview by Segmentatation_v8_medium_train_250 No objects detected Detection preview by Segmentation_V11_large_300_train_300 No objects detected Detection preview by Segmentation_v8_large_300_train_300
Original Image: P07947.jpg
GT: pliers
pliers Detection preview by Box_v11_medium_train_SIXray_OPIXray No objects detected Detection preview by DN_Medium_300_yolov8m_20t7_new No objects detected Detection preview by Segmentatation_v8_medium_train_250 No objects detected Detection preview by Segmentation_V11_large_300_train_300 No objects detected Detection preview by Segmentation_v8_large_300_train_300
Original Image: P07948.jpg
GT: scissors
scissor Detection preview by Box_v11_medium_train_SIXray_OPIXray No objects detected Detection preview by DN_Medium_300_yolov8m_20t7_new scissor Detection preview by Segmentatation_v8_medium_train_250 scissor Detection preview by Segmentation_V11_large_300_train_300 scissor Detection preview by Segmentation_v8_large_300_train_300
Original Image: P07949.jpg
GT: scissors
scissor Detection preview by Box_v11_medium_train_SIXray_OPIXray scissor Detection preview by DN_Medium_300_yolov8m_20t7_new scissor Detection preview by Segmentatation_v8_medium_train_250 scissor Detection preview by Segmentation_V11_large_300_train_300 scissor Detection preview by Segmentation_v8_large_300_train_300
Original Image: P07950.jpg
GT: scissors
scissor Detection preview by Box_v11_medium_train_SIXray_OPIXray No objects detected Detection preview by DN_Medium_300_yolov8m_20t7_new scissor Detection preview by Segmentatation_v8_medium_train_250 scissor Detection preview by Segmentation_V11_large_300_train_300 scissor Detection preview by Segmentation_v8_large_300_train_300
Original Image: P07951.jpg
GT: scissors
scissor Detection preview by Box_v11_medium_train_SIXray_OPIXray No objects detected Detection preview by DN_Medium_300_yolov8m_20t7_new scissor Detection preview by Segmentatation_v8_medium_train_250 scissor Detection preview by Segmentation_V11_large_300_train_300 scissor Detection preview by Segmentation_v8_large_300_train_300
Original Image: P07952.jpg
GT: scissors
scissor Detection preview by Box_v11_medium_train_SIXray_OPIXray No objects detected Detection preview by DN_Medium_300_yolov8m_20t7_new scissor Detection preview by Segmentatation_v8_medium_train_250 scissor Detection preview by Segmentation_V11_large_300_train_300 scissor Detection preview by Segmentation_v8_large_300_train_300
Original Image: P07953.jpg
GT: scissors
scissor Detection preview by Box_v11_medium_train_SIXray_OPIXray No objects detected Detection preview by DN_Medium_300_yolov8m_20t7_new scissor Detection preview by Segmentatation_v8_medium_train_250 scissor Detection preview by Segmentation_V11_large_300_train_300 scissor Detection preview by Segmentation_v8_large_300_train_300
Original Image: P07954.jpg
GT: pliers, wrench
pliers, wrench Detection preview by Box_v11_medium_train_SIXray_OPIXray No objects detected Detection preview by DN_Medium_300_yolov8m_20t7_new wrench Detection preview by Segmentatation_v8_medium_train_250 wrench Detection preview by Segmentation_V11_large_300_train_300 wrench Detection preview by Segmentation_v8_large_300_train_300
Original Image: P07955.jpg
GT: pliers, wrench
pliers, wrench Detection preview by Box_v11_medium_train_SIXray_OPIXray No objects detected Detection preview by DN_Medium_300_yolov8m_20t7_new wrench Detection preview by Segmentatation_v8_medium_train_250 wrench Detection preview by Segmentation_V11_large_300_train_300 wrench Detection preview by Segmentation_v8_large_300_train_300
Original Image: P07956.jpg
GT: pliers, wrench
pliers, wrench Detection preview by Box_v11_medium_train_SIXray_OPIXray No objects detected Detection preview by DN_Medium_300_yolov8m_20t7_new wrench Detection preview by Segmentatation_v8_medium_train_250 wrench Detection preview by Segmentation_V11_large_300_train_300 wrench Detection preview by Segmentation_v8_large_300_train_300
Original Image: P07957.jpg
GT: pliers, wrench
pliers, wrench Detection preview by Box_v11_medium_train_SIXray_OPIXray No objects detected Detection preview by DN_Medium_300_yolov8m_20t7_new wrench Detection preview by Segmentatation_v8_medium_train_250 wrench Detection preview by Segmentation_V11_large_300_train_300 wrench Detection preview by Segmentation_v8_large_300_train_300
Original Image: P07958.jpg
GT: pliers, wrench
pliers, wrench Detection preview by Box_v11_medium_train_SIXray_OPIXray No objects detected Detection preview by DN_Medium_300_yolov8m_20t7_new wrench Detection preview by Segmentatation_v8_medium_train_250 wrench Detection preview by Segmentation_V11_large_300_train_300 wrench Detection preview by Segmentation_v8_large_300_train_300
Original Image: P07959.jpg
GT: pliers
pliers Detection preview by Box_v11_medium_train_SIXray_OPIXray No objects detected Detection preview by DN_Medium_300_yolov8m_20t7_new No objects detected Detection preview by Segmentatation_v8_medium_train_250 No objects detected Detection preview by Segmentation_V11_large_300_train_300 No objects detected Detection preview by Segmentation_v8_large_300_train_300
Original Image: P07960.jpg
GT: pliers
pliers Detection preview by Box_v11_medium_train_SIXray_OPIXray No objects detected Detection preview by DN_Medium_300_yolov8m_20t7_new No objects detected Detection preview by Segmentatation_v8_medium_train_250 No objects detected Detection preview by Segmentation_V11_large_300_train_300 No objects detected Detection preview by Segmentation_v8_large_300_train_300
Original Image: P07961.jpg
GT: pliers
pliers Detection preview by Box_v11_medium_train_SIXray_OPIXray No objects detected Detection preview by DN_Medium_300_yolov8m_20t7_new No objects detected Detection preview by Segmentatation_v8_medium_train_250 No objects detected Detection preview by Segmentation_V11_large_300_train_300 No objects detected Detection preview by Segmentation_v8_large_300_train_300
Original Image: P07962.jpg
GT: pliers
pliers Detection preview by Box_v11_medium_train_SIXray_OPIXray No objects detected Detection preview by DN_Medium_300_yolov8m_20t7_new No objects detected Detection preview by Segmentatation_v8_medium_train_250 No objects detected Detection preview by Segmentation_V11_large_300_train_300 No objects detected Detection preview by Segmentation_v8_large_300_train_300
Original Image: P07963.jpg
GT: pliers
pliers Detection preview by Box_v11_medium_train_SIXray_OPIXray No objects detected Detection preview by DN_Medium_300_yolov8m_20t7_new No objects detected Detection preview by Segmentatation_v8_medium_train_250 No objects detected Detection preview by Segmentation_V11_large_300_train_300 No objects detected Detection preview by Segmentation_v8_large_300_train_300
Original Image: P07964.jpg
GT: pliers
pliers Detection preview by Box_v11_medium_train_SIXray_OPIXray No objects detected Detection preview by DN_Medium_300_yolov8m_20t7_new No objects detected Detection preview by Segmentatation_v8_medium_train_250 No objects detected Detection preview by Segmentation_V11_large_300_train_300 No objects detected Detection preview by Segmentation_v8_large_300_train_300
Original Image: P07965.jpg
GT: pliers
pliers Detection preview by Box_v11_medium_train_SIXray_OPIXray No objects detected Detection preview by DN_Medium_300_yolov8m_20t7_new No objects detected Detection preview by Segmentatation_v8_medium_train_250 No objects detected Detection preview by Segmentation_V11_large_300_train_300 No objects detected Detection preview by Segmentation_v8_large_300_train_300
Original Image: P07966.jpg
GT: pliers
pliers Detection preview by Box_v11_medium_train_SIXray_OPIXray No objects detected Detection preview by DN_Medium_300_yolov8m_20t7_new wrench Detection preview by Segmentatation_v8_medium_train_250 No objects detected Detection preview by Segmentation_V11_large_300_train_300 No objects detected Detection preview by Segmentation_v8_large_300_train_300
Original Image: P07967.jpg
GT: pliers
pliers Detection preview by Box_v11_medium_train_SIXray_OPIXray No objects detected Detection preview by DN_Medium_300_yolov8m_20t7_new No objects detected Detection preview by Segmentatation_v8_medium_train_250 No objects detected Detection preview by Segmentation_V11_large_300_train_300 No objects detected Detection preview by Segmentation_v8_large_300_train_300
Original Image: P07968.jpg
GT: pliers, wrench
pliers, wrench Detection preview by Box_v11_medium_train_SIXray_OPIXray No objects detected Detection preview by DN_Medium_300_yolov8m_20t7_new wrench Detection preview by Segmentatation_v8_medium_train_250 wrench Detection preview by Segmentation_V11_large_300_train_300 wrench Detection preview by Segmentation_v8_large_300_train_300
Original Image: P07969.jpg
GT: pliers, wrench
pliers, wrench Detection preview by Box_v11_medium_train_SIXray_OPIXray No objects detected Detection preview by DN_Medium_300_yolov8m_20t7_new wrench Detection preview by Segmentatation_v8_medium_train_250 wrench Detection preview by Segmentation_V11_large_300_train_300 wrench Detection preview by Segmentation_v8_large_300_train_300
Original Image: P07970.jpg
GT: pliers, wrench
pliers, wrench Detection preview by Box_v11_medium_train_SIXray_OPIXray No objects detected Detection preview by DN_Medium_300_yolov8m_20t7_new wrench Detection preview by Segmentatation_v8_medium_train_250 wrench Detection preview by Segmentation_V11_large_300_train_300 wrench Detection preview by Segmentation_v8_large_300_train_300
Original Image: P07971.jpg
GT: pliers, wrench
pliers, wrench Detection preview by Box_v11_medium_train_SIXray_OPIXray No objects detected Detection preview by DN_Medium_300_yolov8m_20t7_new wrench Detection preview by Segmentatation_v8_medium_train_250 wrench Detection preview by Segmentation_V11_large_300_train_300 wrench Detection preview by Segmentation_v8_large_300_train_300
Original Image: P07972.jpg
GT: pliers, wrench
pliers, wrench Detection preview by Box_v11_medium_train_SIXray_OPIXray No objects detected Detection preview by DN_Medium_300_yolov8m_20t7_new wrench Detection preview by Segmentatation_v8_medium_train_250 wrench Detection preview by Segmentation_V11_large_300_train_300 wrench Detection preview by Segmentation_v8_large_300_train_300
Original Image: P07973.jpg
GT: pliers, wrench
pliers, wrench Detection preview by Box_v11_medium_train_SIXray_OPIXray No objects detected Detection preview by DN_Medium_300_yolov8m_20t7_new wrench Detection preview by Segmentatation_v8_medium_train_250 wrench Detection preview by Segmentation_V11_large_300_train_300 wrench Detection preview by Segmentation_v8_large_300_train_300
Original Image: P07974.jpg
GT: pliers
pliers Detection preview by Box_v11_medium_train_SIXray_OPIXray No objects detected Detection preview by DN_Medium_300_yolov8m_20t7_new No objects detected Detection preview by Segmentatation_v8_medium_train_250 No objects detected Detection preview by Segmentation_V11_large_300_train_300 No objects detected Detection preview by Segmentation_v8_large_300_train_300
Original Image: P07975.jpg
GT: pliers
pliers Detection preview by Box_v11_medium_train_SIXray_OPIXray No objects detected Detection preview by DN_Medium_300_yolov8m_20t7_new No objects detected Detection preview by Segmentatation_v8_medium_train_250 No objects detected Detection preview by Segmentation_V11_large_300_train_300 No objects detected Detection preview by Segmentation_v8_large_300_train_300
Original Image: P07976.jpg
GT: scissors
scissor Detection preview by Box_v11_medium_train_SIXray_OPIXray No objects detected Detection preview by DN_Medium_300_yolov8m_20t7_new No objects detected Detection preview by Segmentatation_v8_medium_train_250 No objects detected Detection preview by Segmentation_V11_large_300_train_300 scissor Detection preview by Segmentation_v8_large_300_train_300
Original Image: P07977.jpg
GT: pliers
pliers Detection preview by Box_v11_medium_train_SIXray_OPIXray No objects detected Detection preview by DN_Medium_300_yolov8m_20t7_new No objects detected Detection preview by Segmentatation_v8_medium_train_250 No objects detected Detection preview by Segmentation_V11_large_300_train_300 No objects detected Detection preview by Segmentation_v8_large_300_train_300
Original Image: P07978.jpg
GT: pliers
pliers Detection preview by Box_v11_medium_train_SIXray_OPIXray knife Detection preview by DN_Medium_300_yolov8m_20t7_new No objects detected Detection preview by Segmentatation_v8_medium_train_250 No objects detected Detection preview by Segmentation_V11_large_300_train_300 No objects detected Detection preview by Segmentation_v8_large_300_train_300
Original Image: P07979.jpg
GT: pliers
pliers Detection preview by Box_v11_medium_train_SIXray_OPIXray No objects detected Detection preview by DN_Medium_300_yolov8m_20t7_new No objects detected Detection preview by Segmentatation_v8_medium_train_250 No objects detected Detection preview by Segmentation_V11_large_300_train_300 No objects detected Detection preview by Segmentation_v8_large_300_train_300
Original Image: P07980.jpg
GT: wrench
wrench Detection preview by Box_v11_medium_train_SIXray_OPIXray No objects detected Detection preview by DN_Medium_300_yolov8m_20t7_new wrench Detection preview by Segmentatation_v8_medium_train_250 wrench Detection preview by Segmentation_V11_large_300_train_300 wrench Detection preview by Segmentation_v8_large_300_train_300
Original Image: P07981.jpg
GT: wrench
wrench Detection preview by Box_v11_medium_train_SIXray_OPIXray No objects detected Detection preview by DN_Medium_300_yolov8m_20t7_new wrench Detection preview by Segmentatation_v8_medium_train_250 wrench Detection preview by Segmentation_V11_large_300_train_300 wrench Detection preview by Segmentation_v8_large_300_train_300
Original Image: P07982.jpg
GT: wrench
wrench Detection preview by Box_v11_medium_train_SIXray_OPIXray No objects detected Detection preview by DN_Medium_300_yolov8m_20t7_new wrench Detection preview by Segmentatation_v8_medium_train_250 wrench Detection preview by Segmentation_V11_large_300_train_300 wrench Detection preview by Segmentation_v8_large_300_train_300
Original Image: P07983.jpg
GT: wrench
wrench Detection preview by Box_v11_medium_train_SIXray_OPIXray No objects detected Detection preview by DN_Medium_300_yolov8m_20t7_new wrench Detection preview by Segmentatation_v8_medium_train_250 wrench Detection preview by Segmentation_V11_large_300_train_300 wrench Detection preview by Segmentation_v8_large_300_train_300
Original Image: P07984.jpg
GT: wrench
wrench Detection preview by Box_v11_medium_train_SIXray_OPIXray No objects detected Detection preview by DN_Medium_300_yolov8m_20t7_new wrench Detection preview by Segmentatation_v8_medium_train_250 wrench Detection preview by Segmentation_V11_large_300_train_300 wrench Detection preview by Segmentation_v8_large_300_train_300
Original Image: P07985.jpg
GT: pliers
pliers Detection preview by Box_v11_medium_train_SIXray_OPIXray No objects detected Detection preview by DN_Medium_300_yolov8m_20t7_new No objects detected Detection preview by Segmentatation_v8_medium_train_250 No objects detected Detection preview by Segmentation_V11_large_300_train_300 No objects detected Detection preview by Segmentation_v8_large_300_train_300
Original Image: P07986.jpg
GT: pliers
pliers Detection preview by Box_v11_medium_train_SIXray_OPIXray No objects detected Detection preview by DN_Medium_300_yolov8m_20t7_new No objects detected Detection preview by Segmentatation_v8_medium_train_250 No objects detected Detection preview by Segmentation_V11_large_300_train_300 No objects detected Detection preview by Segmentation_v8_large_300_train_300
Original Image: P07987.jpg
GT: pliers
pliers Detection preview by Box_v11_medium_train_SIXray_OPIXray No objects detected Detection preview by DN_Medium_300_yolov8m_20t7_new No objects detected Detection preview by Segmentatation_v8_medium_train_250 No objects detected Detection preview by Segmentation_V11_large_300_train_300 No objects detected Detection preview by Segmentation_v8_large_300_train_300
Original Image: P07988.jpg
GT: pliers
pliers Detection preview by Box_v11_medium_train_SIXray_OPIXray No objects detected Detection preview by DN_Medium_300_yolov8m_20t7_new No objects detected Detection preview by Segmentatation_v8_medium_train_250 No objects detected Detection preview by Segmentation_V11_large_300_train_300 No objects detected Detection preview by Segmentation_v8_large_300_train_300
Original Image: P07989.jpg
GT: pliers
pliers Detection preview by Box_v11_medium_train_SIXray_OPIXray No objects detected Detection preview by DN_Medium_300_yolov8m_20t7_new No objects detected Detection preview by Segmentatation_v8_medium_train_250 No objects detected Detection preview by Segmentation_V11_large_300_train_300 No objects detected Detection preview by Segmentation_v8_large_300_train_300
Original Image: P07990.jpg
GT: pliers
pliers Detection preview by Box_v11_medium_train_SIXray_OPIXray No objects detected Detection preview by DN_Medium_300_yolov8m_20t7_new No objects detected Detection preview by Segmentatation_v8_medium_train_250 No objects detected Detection preview by Segmentation_V11_large_300_train_300 No objects detected Detection preview by Segmentation_v8_large_300_train_300
Original Image: P07991.jpg
GT: pliers
pliers Detection preview by Box_v11_medium_train_SIXray_OPIXray No objects detected Detection preview by DN_Medium_300_yolov8m_20t7_new No objects detected Detection preview by Segmentatation_v8_medium_train_250 No objects detected Detection preview by Segmentation_V11_large_300_train_300 No objects detected Detection preview by Segmentation_v8_large_300_train_300
Original Image: P07992.jpg
GT: pliers
pliers Detection preview by Box_v11_medium_train_SIXray_OPIXray No objects detected Detection preview by DN_Medium_300_yolov8m_20t7_new No objects detected Detection preview by Segmentatation_v8_medium_train_250 No objects detected Detection preview by Segmentation_V11_large_300_train_300 No objects detected Detection preview by Segmentation_v8_large_300_train_300
Original Image: P07993.jpg
GT: wrench
wrench Detection preview by Box_v11_medium_train_SIXray_OPIXray No objects detected Detection preview by DN_Medium_300_yolov8m_20t7_new wrench Detection preview by Segmentatation_v8_medium_train_250 wrench Detection preview by Segmentation_V11_large_300_train_300 wrench Detection preview by Segmentation_v8_large_300_train_300
Original Image: P07994.jpg
GT: wrench
wrench Detection preview by Box_v11_medium_train_SIXray_OPIXray No objects detected Detection preview by DN_Medium_300_yolov8m_20t7_new wrench Detection preview by Segmentatation_v8_medium_train_250 wrench Detection preview by Segmentation_V11_large_300_train_300 wrench Detection preview by Segmentation_v8_large_300_train_300
Original Image: P07995.jpg
GT: pliers, wrench
pliers, wrench Detection preview by Box_v11_medium_train_SIXray_OPIXray pliers Detection preview by DN_Medium_300_yolov8m_20t7_new wrench Detection preview by Segmentatation_v8_medium_train_250 wrench Detection preview by Segmentation_V11_large_300_train_300 wrench Detection preview by Segmentation_v8_large_300_train_300
Original Image: P07996.jpg
GT: pliers, wrench
pliers, wrench Detection preview by Box_v11_medium_train_SIXray_OPIXray pliers Detection preview by DN_Medium_300_yolov8m_20t7_new wrench Detection preview by Segmentatation_v8_medium_train_250 wrench Detection preview by Segmentation_V11_large_300_train_300 wrench Detection preview by Segmentation_v8_large_300_train_300
Original Image: P07997.jpg
GT: pliers
pliers Detection preview by Box_v11_medium_train_SIXray_OPIXray No objects detected Detection preview by DN_Medium_300_yolov8m_20t7_new No objects detected Detection preview by Segmentatation_v8_medium_train_250 No objects detected Detection preview by Segmentation_V11_large_300_train_300 No objects detected Detection preview by Segmentation_v8_large_300_train_300
Original Image: P07998.jpg
GT: pliers
pliers Detection preview by Box_v11_medium_train_SIXray_OPIXray No objects detected Detection preview by DN_Medium_300_yolov8m_20t7_new No objects detected Detection preview by Segmentatation_v8_medium_train_250 No objects detected Detection preview by Segmentation_V11_large_300_train_300 No objects detected Detection preview by Segmentation_v8_large_300_train_300
Original Image: P07999.jpg
GT: pliers, wrench
pliers, wrench Detection preview by Box_v11_medium_train_SIXray_OPIXray pliers Detection preview by DN_Medium_300_yolov8m_20t7_new wrench Detection preview by Segmentatation_v8_medium_train_250 wrench Detection preview by Segmentation_V11_large_300_train_300 wrench Detection preview by Segmentation_v8_large_300_train_300
Original Image: P08000.jpg
GT: pliers, wrench
pliers, wrench Detection preview by Box_v11_medium_train_SIXray_OPIXray pliers Detection preview by DN_Medium_300_yolov8m_20t7_new wrench Detection preview by Segmentatation_v8_medium_train_250 wrench Detection preview by Segmentation_V11_large_300_train_300 wrench Detection preview by Segmentation_v8_large_300_train_300
Original Image: P08001.jpg
GT: pliers, wrench
pliers, wrench Detection preview by Box_v11_medium_train_SIXray_OPIXray pliers Detection preview by DN_Medium_300_yolov8m_20t7_new wrench Detection preview by Segmentatation_v8_medium_train_250 wrench Detection preview by Segmentation_V11_large_300_train_300 wrench Detection preview by Segmentation_v8_large_300_train_300
Original Image: P08002.jpg
GT: pliers, wrench
pliers, wrench Detection preview by Box_v11_medium_train_SIXray_OPIXray pliers Detection preview by DN_Medium_300_yolov8m_20t7_new wrench Detection preview by Segmentatation_v8_medium_train_250 wrench Detection preview by Segmentation_V11_large_300_train_300 wrench Detection preview by Segmentation_v8_large_300_train_300
Original Image: P08003.jpg
GT: pliers
pliers Detection preview by Box_v11_medium_train_SIXray_OPIXray No objects detected Detection preview by DN_Medium_300_yolov8m_20t7_new No objects detected Detection preview by Segmentatation_v8_medium_train_250 No objects detected Detection preview by Segmentation_V11_large_300_train_300 No objects detected Detection preview by Segmentation_v8_large_300_train_300
Original Image: P08004.jpg
GT: pliers, wrench
pliers, wrench Detection preview by Box_v11_medium_train_SIXray_OPIXray No objects detected Detection preview by DN_Medium_300_yolov8m_20t7_new wrench Detection preview by Segmentatation_v8_medium_train_250 wrench Detection preview by Segmentation_V11_large_300_train_300 wrench Detection preview by Segmentation_v8_large_300_train_300
Original Image: P08005.jpg
GT: pliers, wrench
pliers, wrench Detection preview by Box_v11_medium_train_SIXray_OPIXray No objects detected Detection preview by DN_Medium_300_yolov8m_20t7_new wrench Detection preview by Segmentatation_v8_medium_train_250 wrench Detection preview by Segmentation_V11_large_300_train_300 wrench Detection preview by Segmentation_v8_large_300_train_300
Original Image: P08006.jpg
GT: pliers
pliers Detection preview by Box_v11_medium_train_SIXray_OPIXray No objects detected Detection preview by DN_Medium_300_yolov8m_20t7_new wrench Detection preview by Segmentatation_v8_medium_train_250 No objects detected Detection preview by Segmentation_V11_large_300_train_300 No objects detected Detection preview by Segmentation_v8_large_300_train_300
Original Image: P08007.jpg
GT: None
No objects detected Detection preview by Box_v11_medium_train_SIXray_OPIXray No objects detected Detection preview by DN_Medium_300_yolov8m_20t7_new No objects detected Detection preview by Segmentatation_v8_medium_train_250 No objects detected Detection preview by Segmentation_V11_large_300_train_300 No objects detected Detection preview by Segmentation_v8_large_300_train_300
Original Image: P08008.jpg
GT: None
knife Detection preview by Box_v11_medium_train_SIXray_OPIXray No objects detected Detection preview by DN_Medium_300_yolov8m_20t7_new No objects detected Detection preview by Segmentatation_v8_medium_train_250 No objects detected Detection preview by Segmentation_V11_large_300_train_300 No objects detected Detection preview by Segmentation_v8_large_300_train_300
Original Image: P08009.jpg
GT: None
No objects detected Detection preview by Box_v11_medium_train_SIXray_OPIXray No objects detected Detection preview by DN_Medium_300_yolov8m_20t7_new No objects detected Detection preview by Segmentatation_v8_medium_train_250 No objects detected Detection preview by Segmentation_V11_large_300_train_300 No objects detected Detection preview by Segmentation_v8_large_300_train_300
Original Image: P08010.jpg
GT: None
No objects detected Detection preview by Box_v11_medium_train_SIXray_OPIXray No objects detected Detection preview by DN_Medium_300_yolov8m_20t7_new No objects detected Detection preview by Segmentatation_v8_medium_train_250 No objects detected Detection preview by Segmentation_V11_large_300_train_300 No objects detected Detection preview by Segmentation_v8_large_300_train_300
Original Image: P08011.jpg
GT: wrench
wrench Detection preview by Box_v11_medium_train_SIXray_OPIXray No objects detected Detection preview by DN_Medium_300_yolov8m_20t7_new wrench Detection preview by Segmentatation_v8_medium_train_250 wrench Detection preview by Segmentation_V11_large_300_train_300 wrench Detection preview by Segmentation_v8_large_300_train_300
Original Image: P08012.jpg
GT: scissors
scissor Detection preview by Box_v11_medium_train_SIXray_OPIXray No objects detected Detection preview by DN_Medium_300_yolov8m_20t7_new No objects detected Detection preview by Segmentatation_v8_medium_train_250 No objects detected Detection preview by Segmentation_V11_large_300_train_300 No objects detected Detection preview by Segmentation_v8_large_300_train_300
Original Image: P08013.jpg
GT: scissors
scissor Detection preview by Box_v11_medium_train_SIXray_OPIXray No objects detected Detection preview by DN_Medium_300_yolov8m_20t7_new No objects detected Detection preview by Segmentatation_v8_medium_train_250 No objects detected Detection preview by Segmentation_V11_large_300_train_300 No objects detected Detection preview by Segmentation_v8_large_300_train_300
Original Image: P08014.jpg
GT: pliers
pliers Detection preview by Box_v11_medium_train_SIXray_OPIXray pliers Detection preview by DN_Medium_300_yolov8m_20t7_new No objects detected Detection preview by Segmentatation_v8_medium_train_250 No objects detected Detection preview by Segmentation_V11_large_300_train_300 No objects detected Detection preview by Segmentation_v8_large_300_train_300
Original Image: P08015.jpg
GT: pliers
pliers Detection preview by Box_v11_medium_train_SIXray_OPIXray pliers Detection preview by DN_Medium_300_yolov8m_20t7_new No objects detected Detection preview by Segmentatation_v8_medium_train_250 No objects detected Detection preview by Segmentation_V11_large_300_train_300 No objects detected Detection preview by Segmentation_v8_large_300_train_300
Original Image: P08016.jpg
GT: pliers
pliers Detection preview by Box_v11_medium_train_SIXray_OPIXray pliers Detection preview by DN_Medium_300_yolov8m_20t7_new No objects detected Detection preview by Segmentatation_v8_medium_train_250 No objects detected Detection preview by Segmentation_V11_large_300_train_300 No objects detected Detection preview by Segmentation_v8_large_300_train_300
Original Image: P08017.jpg
GT: pliers
pliers Detection preview by Box_v11_medium_train_SIXray_OPIXray pliers Detection preview by DN_Medium_300_yolov8m_20t7_new No objects detected Detection preview by Segmentatation_v8_medium_train_250 No objects detected Detection preview by Segmentation_V11_large_300_train_300 No objects detected Detection preview by Segmentation_v8_large_300_train_300
Original Image: P08018.jpg
GT: pliers
pliers Detection preview by Box_v11_medium_train_SIXray_OPIXray No objects detected Detection preview by DN_Medium_300_yolov8m_20t7_new No objects detected Detection preview by Segmentatation_v8_medium_train_250 No objects detected Detection preview by Segmentation_V11_large_300_train_300 No objects detected Detection preview by Segmentation_v8_large_300_train_300
Original Image: P08019.jpg
GT: pliers
pliers Detection preview by Box_v11_medium_train_SIXray_OPIXray No objects detected Detection preview by DN_Medium_300_yolov8m_20t7_new No objects detected Detection preview by Segmentatation_v8_medium_train_250 No objects detected Detection preview by Segmentation_V11_large_300_train_300 No objects detected Detection preview by Segmentation_v8_large_300_train_300
Original Image: P08020.jpg
GT: pliers
pliers Detection preview by Box_v11_medium_train_SIXray_OPIXray No objects detected Detection preview by DN_Medium_300_yolov8m_20t7_new No objects detected Detection preview by Segmentatation_v8_medium_train_250 No objects detected Detection preview by Segmentation_V11_large_300_train_300 No objects detected Detection preview by Segmentation_v8_large_300_train_300
Original Image: P08021.jpg
GT: pliers
pliers Detection preview by Box_v11_medium_train_SIXray_OPIXray No objects detected Detection preview by DN_Medium_300_yolov8m_20t7_new No objects detected Detection preview by Segmentatation_v8_medium_train_250 No objects detected Detection preview by Segmentation_V11_large_300_train_300 No objects detected Detection preview by Segmentation_v8_large_300_train_300
Original Image: P08022.jpg
GT: scissors
scissor Detection preview by Box_v11_medium_train_SIXray_OPIXray No objects detected Detection preview by DN_Medium_300_yolov8m_20t7_new scissor Detection preview by Segmentatation_v8_medium_train_250 scissor Detection preview by Segmentation_V11_large_300_train_300 scissor Detection preview by Segmentation_v8_large_300_train_300
Original Image: P08023.jpg
GT: scissors
scissor Detection preview by Box_v11_medium_train_SIXray_OPIXray No objects detected Detection preview by DN_Medium_300_yolov8m_20t7_new scissor Detection preview by Segmentatation_v8_medium_train_250 scissor Detection preview by Segmentation_V11_large_300_train_300 scissor Detection preview by Segmentation_v8_large_300_train_300
Original Image: P08024.jpg
GT: scissors
scissor Detection preview by Box_v11_medium_train_SIXray_OPIXray No objects detected Detection preview by DN_Medium_300_yolov8m_20t7_new scissor Detection preview by Segmentatation_v8_medium_train_250 scissor Detection preview by Segmentation_V11_large_300_train_300 scissor Detection preview by Segmentation_v8_large_300_train_300
Original Image: P08025.jpg
GT: wrench
wrench Detection preview by Box_v11_medium_train_SIXray_OPIXray No objects detected Detection preview by DN_Medium_300_yolov8m_20t7_new wrench Detection preview by Segmentatation_v8_medium_train_250 wrench Detection preview by Segmentation_V11_large_300_train_300 wrench Detection preview by Segmentation_v8_large_300_train_300
Original Image: P08026.jpg
GT: wrench
wrench Detection preview by Box_v11_medium_train_SIXray_OPIXray No objects detected Detection preview by DN_Medium_300_yolov8m_20t7_new wrench Detection preview by Segmentatation_v8_medium_train_250 wrench Detection preview by Segmentation_V11_large_300_train_300 wrench Detection preview by Segmentation_v8_large_300_train_300
Original Image: P08027.jpg
GT: wrench
wrench Detection preview by Box_v11_medium_train_SIXray_OPIXray No objects detected Detection preview by DN_Medium_300_yolov8m_20t7_new wrench Detection preview by Segmentatation_v8_medium_train_250 wrench Detection preview by Segmentation_V11_large_300_train_300 wrench Detection preview by Segmentation_v8_large_300_train_300
Original Image: P08028.jpg
GT: pliers
pliers Detection preview by Box_v11_medium_train_SIXray_OPIXray No objects detected Detection preview by DN_Medium_300_yolov8m_20t7_new No objects detected Detection preview by Segmentatation_v8_medium_train_250 No objects detected Detection preview by Segmentation_V11_large_300_train_300 No objects detected Detection preview by Segmentation_v8_large_300_train_300
Original Image: P08029.jpg
GT: pliers
pliers Detection preview by Box_v11_medium_train_SIXray_OPIXray No objects detected Detection preview by DN_Medium_300_yolov8m_20t7_new No objects detected Detection preview by Segmentatation_v8_medium_train_250 No objects detected Detection preview by Segmentation_V11_large_300_train_300 No objects detected Detection preview by Segmentation_v8_large_300_train_300
Original Image: P08030.jpg
GT: pliers
pliers Detection preview by Box_v11_medium_train_SIXray_OPIXray No objects detected Detection preview by DN_Medium_300_yolov8m_20t7_new No objects detected Detection preview by Segmentatation_v8_medium_train_250 No objects detected Detection preview by Segmentation_V11_large_300_train_300 No objects detected Detection preview by Segmentation_v8_large_300_train_300
Original Image: P08031.jpg
GT: scissors
scissor Detection preview by Box_v11_medium_train_SIXray_OPIXray No objects detected Detection preview by DN_Medium_300_yolov8m_20t7_new scissor Detection preview by Segmentatation_v8_medium_train_250 scissor Detection preview by Segmentation_V11_large_300_train_300 scissor Detection preview by Segmentation_v8_large_300_train_300
Original Image: P08032.jpg
GT: scissors
scissor Detection preview by Box_v11_medium_train_SIXray_OPIXray No objects detected Detection preview by DN_Medium_300_yolov8m_20t7_new scissor Detection preview by Segmentatation_v8_medium_train_250 scissor Detection preview by Segmentation_V11_large_300_train_300 scissor Detection preview by Segmentation_v8_large_300_train_300
Original Image: P08033.jpg
GT: pliers
pliers Detection preview by Box_v11_medium_train_SIXray_OPIXray pliers Detection preview by DN_Medium_300_yolov8m_20t7_new No objects detected Detection preview by Segmentatation_v8_medium_train_250 No objects detected Detection preview by Segmentation_V11_large_300_train_300 No objects detected Detection preview by Segmentation_v8_large_300_train_300
Original Image: P08034.jpg
GT: pliers
pliers Detection preview by Box_v11_medium_train_SIXray_OPIXray pliers Detection preview by DN_Medium_300_yolov8m_20t7_new No objects detected Detection preview by Segmentatation_v8_medium_train_250 No objects detected Detection preview by Segmentation_V11_large_300_train_300 No objects detected Detection preview by Segmentation_v8_large_300_train_300
Original Image: P08035.jpg
GT: pliers
pliers Detection preview by Box_v11_medium_train_SIXray_OPIXray pliers Detection preview by DN_Medium_300_yolov8m_20t7_new No objects detected Detection preview by Segmentatation_v8_medium_train_250 No objects detected Detection preview by Segmentation_V11_large_300_train_300 No objects detected Detection preview by Segmentation_v8_large_300_train_300
Original Image: P08036.jpg
GT: scissors
scissor Detection preview by Box_v11_medium_train_SIXray_OPIXray scissor Detection preview by DN_Medium_300_yolov8m_20t7_new scissor Detection preview by Segmentatation_v8_medium_train_250 scissor Detection preview by Segmentation_V11_large_300_train_300 scissor Detection preview by Segmentation_v8_large_300_train_300
Original Image: P08037.jpg
GT: scissors
scissor Detection preview by Box_v11_medium_train_SIXray_OPIXray scissor Detection preview by DN_Medium_300_yolov8m_20t7_new scissor Detection preview by Segmentatation_v8_medium_train_250 scissor Detection preview by Segmentation_V11_large_300_train_300 scissor Detection preview by Segmentation_v8_large_300_train_300
Original Image: P08038.jpg
GT: scissors
scissor Detection preview by Box_v11_medium_train_SIXray_OPIXray scissor Detection preview by DN_Medium_300_yolov8m_20t7_new scissor Detection preview by Segmentatation_v8_medium_train_250 scissor Detection preview by Segmentation_V11_large_300_train_300 scissor Detection preview by Segmentation_v8_large_300_train_300
Original Image: P08039.jpg
GT: scissors
scissor Detection preview by Box_v11_medium_train_SIXray_OPIXray scissor Detection preview by DN_Medium_300_yolov8m_20t7_new scissor Detection preview by Segmentatation_v8_medium_train_250 scissor Detection preview by Segmentation_V11_large_300_train_300 scissor Detection preview by Segmentation_v8_large_300_train_300
Original Image: P08040.jpg
GT: pliers
pliers Detection preview by Box_v11_medium_train_SIXray_OPIXray No objects detected Detection preview by DN_Medium_300_yolov8m_20t7_new No objects detected Detection preview by Segmentatation_v8_medium_train_250 No objects detected Detection preview by Segmentation_V11_large_300_train_300 No objects detected Detection preview by Segmentation_v8_large_300_train_300
Original Image: P08041.jpg
GT: pliers
pliers Detection preview by Box_v11_medium_train_SIXray_OPIXray No objects detected Detection preview by DN_Medium_300_yolov8m_20t7_new No objects detected Detection preview by Segmentatation_v8_medium_train_250 No objects detected Detection preview by Segmentation_V11_large_300_train_300 No objects detected Detection preview by Segmentation_v8_large_300_train_300
Original Image: P08042.jpg
GT: pliers
pliers Detection preview by Box_v11_medium_train_SIXray_OPIXray No objects detected Detection preview by DN_Medium_300_yolov8m_20t7_new No objects detected Detection preview by Segmentatation_v8_medium_train_250 No objects detected Detection preview by Segmentation_V11_large_300_train_300 No objects detected Detection preview by Segmentation_v8_large_300_train_300
Original Image: P08043.jpg
GT: pliers
pliers Detection preview by Box_v11_medium_train_SIXray_OPIXray No objects detected Detection preview by DN_Medium_300_yolov8m_20t7_new No objects detected Detection preview by Segmentatation_v8_medium_train_250 No objects detected Detection preview by Segmentation_V11_large_300_train_300 No objects detected Detection preview by Segmentation_v8_large_300_train_300
Original Image: P08044.jpg
GT: pliers
pliers Detection preview by Box_v11_medium_train_SIXray_OPIXray No objects detected Detection preview by DN_Medium_300_yolov8m_20t7_new No objects detected Detection preview by Segmentatation_v8_medium_train_250 No objects detected Detection preview by Segmentation_V11_large_300_train_300 No objects detected Detection preview by Segmentation_v8_large_300_train_300
Original Image: P08045.jpg
GT: pliers
pliers Detection preview by Box_v11_medium_train_SIXray_OPIXray No objects detected Detection preview by DN_Medium_300_yolov8m_20t7_new No objects detected Detection preview by Segmentatation_v8_medium_train_250 No objects detected Detection preview by Segmentation_V11_large_300_train_300 No objects detected Detection preview by Segmentation_v8_large_300_train_300
Original Image: P08046.jpg
GT: pliers
pliers Detection preview by Box_v11_medium_train_SIXray_OPIXray No objects detected Detection preview by DN_Medium_300_yolov8m_20t7_new No objects detected Detection preview by Segmentatation_v8_medium_train_250 No objects detected Detection preview by Segmentation_V11_large_300_train_300 No objects detected Detection preview by Segmentation_v8_large_300_train_300
Original Image: P08047.jpg
GT: pliers
pliers Detection preview by Box_v11_medium_train_SIXray_OPIXray No objects detected Detection preview by DN_Medium_300_yolov8m_20t7_new No objects detected Detection preview by Segmentatation_v8_medium_train_250 No objects detected Detection preview by Segmentation_V11_large_300_train_300 No objects detected Detection preview by Segmentation_v8_large_300_train_300
Original Image: P08048.jpg
GT: pliers, wrench
pliers, wrench Detection preview by Box_v11_medium_train_SIXray_OPIXray No objects detected Detection preview by DN_Medium_300_yolov8m_20t7_new wrench Detection preview by Segmentatation_v8_medium_train_250 wrench Detection preview by Segmentation_V11_large_300_train_300 wrench Detection preview by Segmentation_v8_large_300_train_300
Original Image: P08049.jpg
GT: pliers, wrench
pliers, wrench Detection preview by Box_v11_medium_train_SIXray_OPIXray No objects detected Detection preview by DN_Medium_300_yolov8m_20t7_new wrench Detection preview by Segmentatation_v8_medium_train_250 wrench Detection preview by Segmentation_V11_large_300_train_300 wrench Detection preview by Segmentation_v8_large_300_train_300
Original Image: P08050.jpg
GT: pliers
pliers Detection preview by Box_v11_medium_train_SIXray_OPIXray No objects detected Detection preview by DN_Medium_300_yolov8m_20t7_new No objects detected Detection preview by Segmentatation_v8_medium_train_250 No objects detected Detection preview by Segmentation_V11_large_300_train_300 No objects detected Detection preview by Segmentation_v8_large_300_train_300
Original Image: P08051.jpg
GT: pliers
pliers Detection preview by Box_v11_medium_train_SIXray_OPIXray No objects detected Detection preview by DN_Medium_300_yolov8m_20t7_new No objects detected Detection preview by Segmentatation_v8_medium_train_250 No objects detected Detection preview by Segmentation_V11_large_300_train_300 No objects detected Detection preview by Segmentation_v8_large_300_train_300
Original Image: P08052.jpg
GT: pliers
pliers Detection preview by Box_v11_medium_train_SIXray_OPIXray pliers Detection preview by DN_Medium_300_yolov8m_20t7_new scissor Detection preview by Segmentatation_v8_medium_train_250 No objects detected Detection preview by Segmentation_V11_large_300_train_300 No objects detected Detection preview by Segmentation_v8_large_300_train_300
Original Image: P08053.jpg
GT: pliers, wrench
pliers, wrench Detection preview by Box_v11_medium_train_SIXray_OPIXray No objects detected Detection preview by DN_Medium_300_yolov8m_20t7_new wrench Detection preview by Segmentatation_v8_medium_train_250 wrench Detection preview by Segmentation_V11_large_300_train_300 wrench Detection preview by Segmentation_v8_large_300_train_300
Original Image: P08054.jpg
GT: pliers, wrench
pliers, wrench Detection preview by Box_v11_medium_train_SIXray_OPIXray No objects detected Detection preview by DN_Medium_300_yolov8m_20t7_new wrench Detection preview by Segmentatation_v8_medium_train_250 wrench Detection preview by Segmentation_V11_large_300_train_300 wrench Detection preview by Segmentation_v8_large_300_train_300
Original Image: P08055.jpg
GT: pliers, wrench
pliers, wrench Detection preview by Box_v11_medium_train_SIXray_OPIXray No objects detected Detection preview by DN_Medium_300_yolov8m_20t7_new wrench Detection preview by Segmentatation_v8_medium_train_250 wrench Detection preview by Segmentation_V11_large_300_train_300 wrench Detection preview by Segmentation_v8_large_300_train_300
Original Image: P08056.jpg
GT: pliers
pliers Detection preview by Box_v11_medium_train_SIXray_OPIXray No objects detected Detection preview by DN_Medium_300_yolov8m_20t7_new No objects detected Detection preview by Segmentatation_v8_medium_train_250 No objects detected Detection preview by Segmentation_V11_large_300_train_300 No objects detected Detection preview by Segmentation_v8_large_300_train_300
Original Image: P08057.jpg
GT: pliers
pliers Detection preview by Box_v11_medium_train_SIXray_OPIXray No objects detected Detection preview by DN_Medium_300_yolov8m_20t7_new No objects detected Detection preview by Segmentatation_v8_medium_train_250 No objects detected Detection preview by Segmentation_V11_large_300_train_300 No objects detected Detection preview by Segmentation_v8_large_300_train_300
Original Image: P08058.jpg
GT: pliers
pliers Detection preview by Box_v11_medium_train_SIXray_OPIXray pliers Detection preview by DN_Medium_300_yolov8m_20t7_new No objects detected Detection preview by Segmentatation_v8_medium_train_250 No objects detected Detection preview by Segmentation_V11_large_300_train_300 No objects detected Detection preview by Segmentation_v8_large_300_train_300
Original Image: P08059.jpg
GT: pliers
pliers Detection preview by Box_v11_medium_train_SIXray_OPIXray pliers Detection preview by DN_Medium_300_yolov8m_20t7_new No objects detected Detection preview by Segmentatation_v8_medium_train_250 No objects detected Detection preview by Segmentation_V11_large_300_train_300 No objects detected Detection preview by Segmentation_v8_large_300_train_300
Original Image: P08060.jpg
GT: pliers
pliers Detection preview by Box_v11_medium_train_SIXray_OPIXray No objects detected Detection preview by DN_Medium_300_yolov8m_20t7_new No objects detected Detection preview by Segmentatation_v8_medium_train_250 No objects detected Detection preview by Segmentation_V11_large_300_train_300 No objects detected Detection preview by Segmentation_v8_large_300_train_300
Original Image: P08061.jpg
GT: pliers
pliers Detection preview by Box_v11_medium_train_SIXray_OPIXray No objects detected Detection preview by DN_Medium_300_yolov8m_20t7_new No objects detected Detection preview by Segmentatation_v8_medium_train_250 No objects detected Detection preview by Segmentation_V11_large_300_train_300 No objects detected Detection preview by Segmentation_v8_large_300_train_300
Original Image: P08062.jpg
GT: pliers
pliers Detection preview by Box_v11_medium_train_SIXray_OPIXray No objects detected Detection preview by DN_Medium_300_yolov8m_20t7_new No objects detected Detection preview by Segmentatation_v8_medium_train_250 No objects detected Detection preview by Segmentation_V11_large_300_train_300 No objects detected Detection preview by Segmentation_v8_large_300_train_300
Original Image: P08063.jpg
GT: pliers
pliers Detection preview by Box_v11_medium_train_SIXray_OPIXray No objects detected Detection preview by DN_Medium_300_yolov8m_20t7_new No objects detected Detection preview by Segmentatation_v8_medium_train_250 No objects detected Detection preview by Segmentation_V11_large_300_train_300 No objects detected Detection preview by Segmentation_v8_large_300_train_300
Original Image: P08064.jpg
GT: pliers
pliers Detection preview by Box_v11_medium_train_SIXray_OPIXray No objects detected Detection preview by DN_Medium_300_yolov8m_20t7_new No objects detected Detection preview by Segmentatation_v8_medium_train_250 No objects detected Detection preview by Segmentation_V11_large_300_train_300 No objects detected Detection preview by Segmentation_v8_large_300_train_300
Original Image: P08065.jpg
GT: pliers
pliers Detection preview by Box_v11_medium_train_SIXray_OPIXray pliers Detection preview by DN_Medium_300_yolov8m_20t7_new No objects detected Detection preview by Segmentatation_v8_medium_train_250 No objects detected Detection preview by Segmentation_V11_large_300_train_300 No objects detected Detection preview by Segmentation_v8_large_300_train_300
Original Image: P08066.jpg
GT: pliers
pliers Detection preview by Box_v11_medium_train_SIXray_OPIXray pliers Detection preview by DN_Medium_300_yolov8m_20t7_new No objects detected Detection preview by Segmentatation_v8_medium_train_250 No objects detected Detection preview by Segmentation_V11_large_300_train_300 No objects detected Detection preview by Segmentation_v8_large_300_train_300
Original Image: P08067.jpg
GT: pliers
pliers Detection preview by Box_v11_medium_train_SIXray_OPIXray No objects detected Detection preview by DN_Medium_300_yolov8m_20t7_new No objects detected Detection preview by Segmentatation_v8_medium_train_250 No objects detected Detection preview by Segmentation_V11_large_300_train_300 No objects detected Detection preview by Segmentation_v8_large_300_train_300
Original Image: P08068.jpg
GT: pliers
pliers Detection preview by Box_v11_medium_train_SIXray_OPIXray No objects detected Detection preview by DN_Medium_300_yolov8m_20t7_new No objects detected Detection preview by Segmentatation_v8_medium_train_250 No objects detected Detection preview by Segmentation_V11_large_300_train_300 No objects detected Detection preview by Segmentation_v8_large_300_train_300
Original Image: P08069.jpg
GT: pliers
pliers Detection preview by Box_v11_medium_train_SIXray_OPIXray pliers Detection preview by DN_Medium_300_yolov8m_20t7_new No objects detected Detection preview by Segmentatation_v8_medium_train_250 No objects detected Detection preview by Segmentation_V11_large_300_train_300 No objects detected Detection preview by Segmentation_v8_large_300_train_300
Original Image: P08070.jpg
GT: pliers
pliers Detection preview by Box_v11_medium_train_SIXray_OPIXray No objects detected Detection preview by DN_Medium_300_yolov8m_20t7_new No objects detected Detection preview by Segmentatation_v8_medium_train_250 No objects detected Detection preview by Segmentation_V11_large_300_train_300 No objects detected Detection preview by Segmentation_v8_large_300_train_300
Original Image: P08071.jpg
GT: pliers
pliers Detection preview by Box_v11_medium_train_SIXray_OPIXray No objects detected Detection preview by DN_Medium_300_yolov8m_20t7_new No objects detected Detection preview by Segmentatation_v8_medium_train_250 No objects detected Detection preview by Segmentation_V11_large_300_train_300 No objects detected Detection preview by Segmentation_v8_large_300_train_300
Original Image: P08072.jpg
GT: pliers
pliers Detection preview by Box_v11_medium_train_SIXray_OPIXray No objects detected Detection preview by DN_Medium_300_yolov8m_20t7_new No objects detected Detection preview by Segmentatation_v8_medium_train_250 No objects detected Detection preview by Segmentation_V11_large_300_train_300 No objects detected Detection preview by Segmentation_v8_large_300_train_300
Original Image: P08073.jpg
GT: pliers
pliers Detection preview by Box_v11_medium_train_SIXray_OPIXray pliers Detection preview by DN_Medium_300_yolov8m_20t7_new No objects detected Detection preview by Segmentatation_v8_medium_train_250 No objects detected Detection preview by Segmentation_V11_large_300_train_300 No objects detected Detection preview by Segmentation_v8_large_300_train_300
Original Image: P08074.jpg
GT: pliers
pliers Detection preview by Box_v11_medium_train_SIXray_OPIXray pliers Detection preview by DN_Medium_300_yolov8m_20t7_new No objects detected Detection preview by Segmentatation_v8_medium_train_250 No objects detected Detection preview by Segmentation_V11_large_300_train_300 No objects detected Detection preview by Segmentation_v8_large_300_train_300
Original Image: P08075.jpg
GT: pliers
pliers Detection preview by Box_v11_medium_train_SIXray_OPIXray pliers Detection preview by DN_Medium_300_yolov8m_20t7_new No objects detected Detection preview by Segmentatation_v8_medium_train_250 No objects detected Detection preview by Segmentation_V11_large_300_train_300 No objects detected Detection preview by Segmentation_v8_large_300_train_300
Original Image: P08076.jpg
GT: pliers
pliers Detection preview by Box_v11_medium_train_SIXray_OPIXray pliers Detection preview by DN_Medium_300_yolov8m_20t7_new No objects detected Detection preview by Segmentatation_v8_medium_train_250 No objects detected Detection preview by Segmentation_V11_large_300_train_300 No objects detected Detection preview by Segmentation_v8_large_300_train_300
Original Image: P08077.jpg
GT: pliers
pliers Detection preview by Box_v11_medium_train_SIXray_OPIXray pliers Detection preview by DN_Medium_300_yolov8m_20t7_new No objects detected Detection preview by Segmentatation_v8_medium_train_250 No objects detected Detection preview by Segmentation_V11_large_300_train_300 No objects detected Detection preview by Segmentation_v8_large_300_train_300
Original Image: P08078.jpg
GT: pliers
pliers Detection preview by Box_v11_medium_train_SIXray_OPIXray No objects detected Detection preview by DN_Medium_300_yolov8m_20t7_new No objects detected Detection preview by Segmentatation_v8_medium_train_250 No objects detected Detection preview by Segmentation_V11_large_300_train_300 No objects detected Detection preview by Segmentation_v8_large_300_train_300
Original Image: P08079.jpg
GT: pliers
pliers Detection preview by Box_v11_medium_train_SIXray_OPIXray pliers Detection preview by DN_Medium_300_yolov8m_20t7_new No objects detected Detection preview by Segmentatation_v8_medium_train_250 No objects detected Detection preview by Segmentation_V11_large_300_train_300 No objects detected Detection preview by Segmentation_v8_large_300_train_300
Original Image: P08080.jpg
GT: pliers
pliers Detection preview by Box_v11_medium_train_SIXray_OPIXray pliers Detection preview by DN_Medium_300_yolov8m_20t7_new No objects detected Detection preview by Segmentatation_v8_medium_train_250 No objects detected Detection preview by Segmentation_V11_large_300_train_300 No objects detected Detection preview by Segmentation_v8_large_300_train_300
Original Image: P08081.jpg
GT: pliers
pliers Detection preview by Box_v11_medium_train_SIXray_OPIXray pliers Detection preview by DN_Medium_300_yolov8m_20t7_new No objects detected Detection preview by Segmentatation_v8_medium_train_250 No objects detected Detection preview by Segmentation_V11_large_300_train_300 No objects detected Detection preview by Segmentation_v8_large_300_train_300
Original Image: P08082.jpg
GT: pliers
pliers Detection preview by Box_v11_medium_train_SIXray_OPIXray pliers Detection preview by DN_Medium_300_yolov8m_20t7_new No objects detected Detection preview by Segmentatation_v8_medium_train_250 No objects detected Detection preview by Segmentation_V11_large_300_train_300 No objects detected Detection preview by Segmentation_v8_large_300_train_300
Original Image: P08083.jpg
GT: pliers
pliers Detection preview by Box_v11_medium_train_SIXray_OPIXray No objects detected Detection preview by DN_Medium_300_yolov8m_20t7_new No objects detected Detection preview by Segmentatation_v8_medium_train_250 No objects detected Detection preview by Segmentation_V11_large_300_train_300 No objects detected Detection preview by Segmentation_v8_large_300_train_300
Original Image: P08084.jpg
GT: pliers
pliers Detection preview by Box_v11_medium_train_SIXray_OPIXray No objects detected Detection preview by DN_Medium_300_yolov8m_20t7_new No objects detected Detection preview by Segmentatation_v8_medium_train_250 No objects detected Detection preview by Segmentation_V11_large_300_train_300 No objects detected Detection preview by Segmentation_v8_large_300_train_300
Original Image: P08085.jpg
GT: pliers
pliers Detection preview by Box_v11_medium_train_SIXray_OPIXray No objects detected Detection preview by DN_Medium_300_yolov8m_20t7_new No objects detected Detection preview by Segmentatation_v8_medium_train_250 No objects detected Detection preview by Segmentation_V11_large_300_train_300 No objects detected Detection preview by Segmentation_v8_large_300_train_300
Original Image: P08086.jpg
GT: pliers
pliers Detection preview by Box_v11_medium_train_SIXray_OPIXray No objects detected Detection preview by DN_Medium_300_yolov8m_20t7_new No objects detected Detection preview by Segmentatation_v8_medium_train_250 No objects detected Detection preview by Segmentation_V11_large_300_train_300 No objects detected Detection preview by Segmentation_v8_large_300_train_300
Original Image: P08087.jpg
GT: wrench
wrench Detection preview by Box_v11_medium_train_SIXray_OPIXray No objects detected Detection preview by DN_Medium_300_yolov8m_20t7_new wrench Detection preview by Segmentatation_v8_medium_train_250 wrench Detection preview by Segmentation_V11_large_300_train_300 wrench Detection preview by Segmentation_v8_large_300_train_300
Original Image: P08088.jpg
GT: knife
knife Detection preview by Box_v11_medium_train_SIXray_OPIXray No objects detected Detection preview by DN_Medium_300_yolov8m_20t7_new knife Detection preview by Segmentatation_v8_medium_train_250 knife Detection preview by Segmentation_V11_large_300_train_300 knife Detection preview by Segmentation_v8_large_300_train_300
Original Image: P08089.jpg
GT: knife
knife Detection preview by Box_v11_medium_train_SIXray_OPIXray No objects detected Detection preview by DN_Medium_300_yolov8m_20t7_new knife Detection preview by Segmentatation_v8_medium_train_250 knife Detection preview by Segmentation_V11_large_300_train_300 knife Detection preview by Segmentation_v8_large_300_train_300
Original Image: P08090.jpg
GT: knife
knife Detection preview by Box_v11_medium_train_SIXray_OPIXray No objects detected Detection preview by DN_Medium_300_yolov8m_20t7_new knife Detection preview by Segmentatation_v8_medium_train_250 knife Detection preview by Segmentation_V11_large_300_train_300 knife Detection preview by Segmentation_v8_large_300_train_300
Original Image: P08091.jpg
GT: wrench
wrench Detection preview by Box_v11_medium_train_SIXray_OPIXray No objects detected Detection preview by DN_Medium_300_yolov8m_20t7_new wrench Detection preview by Segmentatation_v8_medium_train_250 wrench Detection preview by Segmentation_V11_large_300_train_300 wrench Detection preview by Segmentation_v8_large_300_train_300
Original Image: P08092.jpg
GT: wrench
wrench Detection preview by Box_v11_medium_train_SIXray_OPIXray No objects detected Detection preview by DN_Medium_300_yolov8m_20t7_new wrench Detection preview by Segmentatation_v8_medium_train_250 wrench Detection preview by Segmentation_V11_large_300_train_300 wrench Detection preview by Segmentation_v8_large_300_train_300
Original Image: P08093.jpg
GT: wrench
wrench Detection preview by Box_v11_medium_train_SIXray_OPIXray No objects detected Detection preview by DN_Medium_300_yolov8m_20t7_new wrench Detection preview by Segmentatation_v8_medium_train_250 wrench Detection preview by Segmentation_V11_large_300_train_300 wrench Detection preview by Segmentation_v8_large_300_train_300
Original Image: P08094.jpg
GT: pliers
pliers Detection preview by Box_v11_medium_train_SIXray_OPIXray No objects detected Detection preview by DN_Medium_300_yolov8m_20t7_new No objects detected Detection preview by Segmentatation_v8_medium_train_250 No objects detected Detection preview by Segmentation_V11_large_300_train_300 No objects detected Detection preview by Segmentation_v8_large_300_train_300
Original Image: P08095.jpg
GT: pliers
pliers Detection preview by Box_v11_medium_train_SIXray_OPIXray No objects detected Detection preview by DN_Medium_300_yolov8m_20t7_new No objects detected Detection preview by Segmentatation_v8_medium_train_250 No objects detected Detection preview by Segmentation_V11_large_300_train_300 No objects detected Detection preview by Segmentation_v8_large_300_train_300
Original Image: P08096.jpg
GT: pliers
pliers Detection preview by Box_v11_medium_train_SIXray_OPIXray No objects detected Detection preview by DN_Medium_300_yolov8m_20t7_new No objects detected Detection preview by Segmentatation_v8_medium_train_250 No objects detected Detection preview by Segmentation_V11_large_300_train_300 No objects detected Detection preview by Segmentation_v8_large_300_train_300
Original Image: P08097.jpg
GT: pliers
pliers Detection preview by Box_v11_medium_train_SIXray_OPIXray No objects detected Detection preview by DN_Medium_300_yolov8m_20t7_new No objects detected Detection preview by Segmentatation_v8_medium_train_250 No objects detected Detection preview by Segmentation_V11_large_300_train_300 No objects detected Detection preview by Segmentation_v8_large_300_train_300
Original Image: P08098.jpg
GT: pliers, wrench
pliers, wrench Detection preview by Box_v11_medium_train_SIXray_OPIXray No objects detected Detection preview by DN_Medium_300_yolov8m_20t7_new wrench Detection preview by Segmentatation_v8_medium_train_250 wrench Detection preview by Segmentation_V11_large_300_train_300 No objects detected Detection preview by Segmentation_v8_large_300_train_300
Original Image: P08099.jpg
GT: pliers, wrench
pliers, wrench Detection preview by Box_v11_medium_train_SIXray_OPIXray No objects detected Detection preview by DN_Medium_300_yolov8m_20t7_new wrench Detection preview by Segmentatation_v8_medium_train_250 wrench Detection preview by Segmentation_V11_large_300_train_300 wrench Detection preview by Segmentation_v8_large_300_train_300
Original Image: P08100.jpg
GT: pliers, wrench
pliers, wrench Detection preview by Box_v11_medium_train_SIXray_OPIXray No objects detected Detection preview by DN_Medium_300_yolov8m_20t7_new wrench Detection preview by Segmentatation_v8_medium_train_250 wrench Detection preview by Segmentation_V11_large_300_train_300 No objects detected Detection preview by Segmentation_v8_large_300_train_300
Original Image: P08101.jpg
GT: wrench
wrench Detection preview by Box_v11_medium_train_SIXray_OPIXray No objects detected Detection preview by DN_Medium_300_yolov8m_20t7_new wrench Detection preview by Segmentatation_v8_medium_train_250 wrench Detection preview by Segmentation_V11_large_300_train_300 wrench Detection preview by Segmentation_v8_large_300_train_300
Original Image: P08102.jpg
GT: pliers, wrench
pliers, wrench Detection preview by Box_v11_medium_train_SIXray_OPIXray No objects detected Detection preview by DN_Medium_300_yolov8m_20t7_new wrench Detection preview by Segmentatation_v8_medium_train_250 wrench Detection preview by Segmentation_V11_large_300_train_300 wrench Detection preview by Segmentation_v8_large_300_train_300
Original Image: P08103.jpg
GT: pliers, wrench
pliers, wrench Detection preview by Box_v11_medium_train_SIXray_OPIXray No objects detected Detection preview by DN_Medium_300_yolov8m_20t7_new wrench Detection preview by Segmentatation_v8_medium_train_250 wrench Detection preview by Segmentation_V11_large_300_train_300 wrench Detection preview by Segmentation_v8_large_300_train_300
Original Image: P08104.jpg
GT: pliers
pliers Detection preview by Box_v11_medium_train_SIXray_OPIXray No objects detected Detection preview by DN_Medium_300_yolov8m_20t7_new No objects detected Detection preview by Segmentatation_v8_medium_train_250 No objects detected Detection preview by Segmentation_V11_large_300_train_300 No objects detected Detection preview by Segmentation_v8_large_300_train_300
Original Image: P08105.jpg
GT: pliers
pliers Detection preview by Box_v11_medium_train_SIXray_OPIXray No objects detected Detection preview by DN_Medium_300_yolov8m_20t7_new No objects detected Detection preview by Segmentatation_v8_medium_train_250 No objects detected Detection preview by Segmentation_V11_large_300_train_300 No objects detected Detection preview by Segmentation_v8_large_300_train_300
Original Image: P08106.jpg
GT: pliers
pliers Detection preview by Box_v11_medium_train_SIXray_OPIXray pliers Detection preview by DN_Medium_300_yolov8m_20t7_new No objects detected Detection preview by Segmentatation_v8_medium_train_250 No objects detected Detection preview by Segmentation_V11_large_300_train_300 No objects detected Detection preview by Segmentation_v8_large_300_train_300
Original Image: P08107.jpg
GT: wrench
wrench Detection preview by Box_v11_medium_train_SIXray_OPIXray No objects detected Detection preview by DN_Medium_300_yolov8m_20t7_new wrench Detection preview by Segmentatation_v8_medium_train_250 wrench Detection preview by Segmentation_V11_large_300_train_300 wrench Detection preview by Segmentation_v8_large_300_train_300
Original Image: P08108.jpg
GT: wrench
wrench Detection preview by Box_v11_medium_train_SIXray_OPIXray No objects detected Detection preview by DN_Medium_300_yolov8m_20t7_new wrench Detection preview by Segmentatation_v8_medium_train_250 wrench Detection preview by Segmentation_V11_large_300_train_300 wrench Detection preview by Segmentation_v8_large_300_train_300
Original Image: P08109.jpg
GT: scissors
scissor Detection preview by Box_v11_medium_train_SIXray_OPIXray No objects detected Detection preview by DN_Medium_300_yolov8m_20t7_new scissor Detection preview by Segmentatation_v8_medium_train_250 scissor Detection preview by Segmentation_V11_large_300_train_300 scissor Detection preview by Segmentation_v8_large_300_train_300
Original Image: P08110.jpg
GT: scissors
scissor Detection preview by Box_v11_medium_train_SIXray_OPIXray No objects detected Detection preview by DN_Medium_300_yolov8m_20t7_new scissor Detection preview by Segmentatation_v8_medium_train_250 scissor Detection preview by Segmentation_V11_large_300_train_300 scissor Detection preview by Segmentation_v8_large_300_train_300
Original Image: P08111.jpg
GT: scissors
scissor Detection preview by Box_v11_medium_train_SIXray_OPIXray No objects detected Detection preview by DN_Medium_300_yolov8m_20t7_new scissor Detection preview by Segmentatation_v8_medium_train_250 scissor Detection preview by Segmentation_V11_large_300_train_300 scissor Detection preview by Segmentation_v8_large_300_train_300
Original Image: P08112.jpg
GT: scissors
scissor Detection preview by Box_v11_medium_train_SIXray_OPIXray No objects detected Detection preview by DN_Medium_300_yolov8m_20t7_new scissor Detection preview by Segmentatation_v8_medium_train_250 scissor Detection preview by Segmentation_V11_large_300_train_300 scissor Detection preview by Segmentation_v8_large_300_train_300
Original Image: P08113.jpg
GT: scissors
scissor Detection preview by Box_v11_medium_train_SIXray_OPIXray scissor Detection preview by DN_Medium_300_yolov8m_20t7_new scissor Detection preview by Segmentatation_v8_medium_train_250 scissor Detection preview by Segmentation_V11_large_300_train_300 scissor Detection preview by Segmentation_v8_large_300_train_300
Original Image: P08114.jpg
GT: pliers
pliers Detection preview by Box_v11_medium_train_SIXray_OPIXray No objects detected Detection preview by DN_Medium_300_yolov8m_20t7_new No objects detected Detection preview by Segmentatation_v8_medium_train_250 No objects detected Detection preview by Segmentation_V11_large_300_train_300 No objects detected Detection preview by Segmentation_v8_large_300_train_300
Original Image: P08115.jpg
GT: pliers
pliers Detection preview by Box_v11_medium_train_SIXray_OPIXray No objects detected Detection preview by DN_Medium_300_yolov8m_20t7_new No objects detected Detection preview by Segmentatation_v8_medium_train_250 No objects detected Detection preview by Segmentation_V11_large_300_train_300 No objects detected Detection preview by Segmentation_v8_large_300_train_300
Original Image: P08116.jpg
GT: pliers
pliers Detection preview by Box_v11_medium_train_SIXray_OPIXray No objects detected Detection preview by DN_Medium_300_yolov8m_20t7_new No objects detected Detection preview by Segmentatation_v8_medium_train_250 No objects detected Detection preview by Segmentation_V11_large_300_train_300 No objects detected Detection preview by Segmentation_v8_large_300_train_300
Original Image: P08117.jpg
GT: pliers, wrench
pliers, wrench Detection preview by Box_v11_medium_train_SIXray_OPIXray No objects detected Detection preview by DN_Medium_300_yolov8m_20t7_new wrench Detection preview by Segmentatation_v8_medium_train_250 wrench Detection preview by Segmentation_V11_large_300_train_300 wrench Detection preview by Segmentation_v8_large_300_train_300
Original Image: P08118.jpg
GT: pliers, wrench
pliers, wrench Detection preview by Box_v11_medium_train_SIXray_OPIXray pliers Detection preview by DN_Medium_300_yolov8m_20t7_new wrench Detection preview by Segmentatation_v8_medium_train_250 wrench Detection preview by Segmentation_V11_large_300_train_300 wrench Detection preview by Segmentation_v8_large_300_train_300
Original Image: P08119.jpg
GT: pliers, wrench
pliers, wrench Detection preview by Box_v11_medium_train_SIXray_OPIXray pliers Detection preview by DN_Medium_300_yolov8m_20t7_new wrench Detection preview by Segmentatation_v8_medium_train_250 wrench Detection preview by Segmentation_V11_large_300_train_300 wrench Detection preview by Segmentation_v8_large_300_train_300
Original Image: P08120.jpg
GT: pliers, wrench
pliers, wrench Detection preview by Box_v11_medium_train_SIXray_OPIXray pliers Detection preview by DN_Medium_300_yolov8m_20t7_new wrench Detection preview by Segmentatation_v8_medium_train_250 wrench Detection preview by Segmentation_V11_large_300_train_300 wrench Detection preview by Segmentation_v8_large_300_train_300
Original Image: P08121.jpg
GT: pliers, wrench
pliers, wrench Detection preview by Box_v11_medium_train_SIXray_OPIXray pliers Detection preview by DN_Medium_300_yolov8m_20t7_new wrench Detection preview by Segmentatation_v8_medium_train_250 wrench Detection preview by Segmentation_V11_large_300_train_300 wrench Detection preview by Segmentation_v8_large_300_train_300
Original Image: P08122.jpg
GT: scissors
scissor Detection preview by Box_v11_medium_train_SIXray_OPIXray No objects detected Detection preview by DN_Medium_300_yolov8m_20t7_new No objects detected Detection preview by Segmentatation_v8_medium_train_250 No objects detected Detection preview by Segmentation_V11_large_300_train_300 No objects detected Detection preview by Segmentation_v8_large_300_train_300
Original Image: P08123.jpg
GT: scissors
scissor Detection preview by Box_v11_medium_train_SIXray_OPIXray No objects detected Detection preview by DN_Medium_300_yolov8m_20t7_new No objects detected Detection preview by Segmentatation_v8_medium_train_250 No objects detected Detection preview by Segmentation_V11_large_300_train_300 No objects detected Detection preview by Segmentation_v8_large_300_train_300
Original Image: P08124.jpg
GT: pliers, wrench
pliers, wrench Detection preview by Box_v11_medium_train_SIXray_OPIXray No objects detected Detection preview by DN_Medium_300_yolov8m_20t7_new wrench Detection preview by Segmentatation_v8_medium_train_250 wrench Detection preview by Segmentation_V11_large_300_train_300 wrench Detection preview by Segmentation_v8_large_300_train_300
Original Image: P08125.jpg
GT: pliers, wrench
pliers, wrench Detection preview by Box_v11_medium_train_SIXray_OPIXray No objects detected Detection preview by DN_Medium_300_yolov8m_20t7_new wrench Detection preview by Segmentatation_v8_medium_train_250 wrench Detection preview by Segmentation_V11_large_300_train_300 wrench Detection preview by Segmentation_v8_large_300_train_300
Original Image: P08126.jpg
GT: pliers
pliers Detection preview by Box_v11_medium_train_SIXray_OPIXray No objects detected Detection preview by DN_Medium_300_yolov8m_20t7_new No objects detected Detection preview by Segmentatation_v8_medium_train_250 No objects detected Detection preview by Segmentation_V11_large_300_train_300 No objects detected Detection preview by Segmentation_v8_large_300_train_300
Original Image: P08127.jpg
GT: pliers
pliers Detection preview by Box_v11_medium_train_SIXray_OPIXray No objects detected Detection preview by DN_Medium_300_yolov8m_20t7_new No objects detected Detection preview by Segmentatation_v8_medium_train_250 No objects detected Detection preview by Segmentation_V11_large_300_train_300 No objects detected Detection preview by Segmentation_v8_large_300_train_300
Original Image: P08128.jpg
GT: pliers
pliers Detection preview by Box_v11_medium_train_SIXray_OPIXray No objects detected Detection preview by DN_Medium_300_yolov8m_20t7_new No objects detected Detection preview by Segmentatation_v8_medium_train_250 No objects detected Detection preview by Segmentation_V11_large_300_train_300 No objects detected Detection preview by Segmentation_v8_large_300_train_300
Original Image: P08129.jpg
GT: pliers
pliers Detection preview by Box_v11_medium_train_SIXray_OPIXray No objects detected Detection preview by DN_Medium_300_yolov8m_20t7_new No objects detected Detection preview by Segmentatation_v8_medium_train_250 No objects detected Detection preview by Segmentation_V11_large_300_train_300 No objects detected Detection preview by Segmentation_v8_large_300_train_300
Original Image: P08130.jpg
GT: pliers, wrench
pliers, wrench Detection preview by Box_v11_medium_train_SIXray_OPIXray No objects detected Detection preview by DN_Medium_300_yolov8m_20t7_new wrench Detection preview by Segmentatation_v8_medium_train_250 wrench Detection preview by Segmentation_V11_large_300_train_300 wrench Detection preview by Segmentation_v8_large_300_train_300
Original Image: P08131.jpg
GT: wrench
wrench Detection preview by Box_v11_medium_train_SIXray_OPIXray No objects detected Detection preview by DN_Medium_300_yolov8m_20t7_new scissor, wrench Detection preview by Segmentatation_v8_medium_train_250 scissor, wrench Detection preview by Segmentation_V11_large_300_train_300 scissor, wrench Detection preview by Segmentation_v8_large_300_train_300
Original Image: P08132.jpg
GT: wrench
wrench Detection preview by Box_v11_medium_train_SIXray_OPIXray No objects detected Detection preview by DN_Medium_300_yolov8m_20t7_new scissor, wrench Detection preview by Segmentatation_v8_medium_train_250 scissor, wrench Detection preview by Segmentation_V11_large_300_train_300 scissor, wrench Detection preview by Segmentation_v8_large_300_train_300
Original Image: P08133.jpg
GT: wrench
wrench Detection preview by Box_v11_medium_train_SIXray_OPIXray No objects detected Detection preview by DN_Medium_300_yolov8m_20t7_new scissor, wrench Detection preview by Segmentatation_v8_medium_train_250 scissor, wrench Detection preview by Segmentation_V11_large_300_train_300 scissor, wrench Detection preview by Segmentation_v8_large_300_train_300
Original Image: P08134.jpg
GT: wrench
wrench Detection preview by Box_v11_medium_train_SIXray_OPIXray No objects detected Detection preview by DN_Medium_300_yolov8m_20t7_new scissor, wrench Detection preview by Segmentatation_v8_medium_train_250 scissor, wrench Detection preview by Segmentation_V11_large_300_train_300 scissor, wrench Detection preview by Segmentation_v8_large_300_train_300
Original Image: P08135.jpg
GT: wrench
wrench Detection preview by Box_v11_medium_train_SIXray_OPIXray No objects detected Detection preview by DN_Medium_300_yolov8m_20t7_new scissor, wrench Detection preview by Segmentatation_v8_medium_train_250 scissor, wrench Detection preview by Segmentation_V11_large_300_train_300 scissor, wrench Detection preview by Segmentation_v8_large_300_train_300
Original Image: P08136.jpg
GT: wrench
wrench Detection preview by Box_v11_medium_train_SIXray_OPIXray No objects detected Detection preview by DN_Medium_300_yolov8m_20t7_new wrench Detection preview by Segmentatation_v8_medium_train_250 wrench Detection preview by Segmentation_V11_large_300_train_300 wrench Detection preview by Segmentation_v8_large_300_train_300
Original Image: P08137.jpg
GT: wrench
wrench Detection preview by Box_v11_medium_train_SIXray_OPIXray No objects detected Detection preview by DN_Medium_300_yolov8m_20t7_new wrench Detection preview by Segmentatation_v8_medium_train_250 wrench Detection preview by Segmentation_V11_large_300_train_300 wrench Detection preview by Segmentation_v8_large_300_train_300
Original Image: P08138.jpg
GT: wrench
wrench Detection preview by Box_v11_medium_train_SIXray_OPIXray No objects detected Detection preview by DN_Medium_300_yolov8m_20t7_new wrench Detection preview by Segmentatation_v8_medium_train_250 wrench Detection preview by Segmentation_V11_large_300_train_300 wrench Detection preview by Segmentation_v8_large_300_train_300
Original Image: P08139.jpg
GT: wrench
wrench Detection preview by Box_v11_medium_train_SIXray_OPIXray No objects detected Detection preview by DN_Medium_300_yolov8m_20t7_new wrench Detection preview by Segmentatation_v8_medium_train_250 wrench Detection preview by Segmentation_V11_large_300_train_300 wrench Detection preview by Segmentation_v8_large_300_train_300
Original Image: P08140.jpg
GT: pliers
pliers Detection preview by Box_v11_medium_train_SIXray_OPIXray No objects detected Detection preview by DN_Medium_300_yolov8m_20t7_new No objects detected Detection preview by Segmentatation_v8_medium_train_250 No objects detected Detection preview by Segmentation_V11_large_300_train_300 No objects detected Detection preview by Segmentation_v8_large_300_train_300
Original Image: P08141.jpg
GT: pliers
pliers Detection preview by Box_v11_medium_train_SIXray_OPIXray No objects detected Detection preview by DN_Medium_300_yolov8m_20t7_new No objects detected Detection preview by Segmentatation_v8_medium_train_250 No objects detected Detection preview by Segmentation_V11_large_300_train_300 No objects detected Detection preview by Segmentation_v8_large_300_train_300
Original Image: P08142.jpg
GT: pliers
pliers Detection preview by Box_v11_medium_train_SIXray_OPIXray No objects detected Detection preview by DN_Medium_300_yolov8m_20t7_new No objects detected Detection preview by Segmentatation_v8_medium_train_250 No objects detected Detection preview by Segmentation_V11_large_300_train_300 No objects detected Detection preview by Segmentation_v8_large_300_train_300
Original Image: P08143.jpg
GT: pliers
pliers Detection preview by Box_v11_medium_train_SIXray_OPIXray No objects detected Detection preview by DN_Medium_300_yolov8m_20t7_new No objects detected Detection preview by Segmentatation_v8_medium_train_250 No objects detected Detection preview by Segmentation_V11_large_300_train_300 No objects detected Detection preview by Segmentation_v8_large_300_train_300
Original Image: P08144.jpg
GT: pliers
pliers Detection preview by Box_v11_medium_train_SIXray_OPIXray pliers Detection preview by DN_Medium_300_yolov8m_20t7_new No objects detected Detection preview by Segmentatation_v8_medium_train_250 No objects detected Detection preview by Segmentation_V11_large_300_train_300 No objects detected Detection preview by Segmentation_v8_large_300_train_300
Original Image: P08145.jpg
GT: pliers
pliers Detection preview by Box_v11_medium_train_SIXray_OPIXray No objects detected Detection preview by DN_Medium_300_yolov8m_20t7_new No objects detected Detection preview by Segmentatation_v8_medium_train_250 No objects detected Detection preview by Segmentation_V11_large_300_train_300 No objects detected Detection preview by Segmentation_v8_large_300_train_300
Original Image: P08146.jpg
GT: pliers
pliers Detection preview by Box_v11_medium_train_SIXray_OPIXray pliers Detection preview by DN_Medium_300_yolov8m_20t7_new No objects detected Detection preview by Segmentatation_v8_medium_train_250 No objects detected Detection preview by Segmentation_V11_large_300_train_300 No objects detected Detection preview by Segmentation_v8_large_300_train_300
Original Image: P08147.jpg
GT: scissors
scissor Detection preview by Box_v11_medium_train_SIXray_OPIXray scissor Detection preview by DN_Medium_300_yolov8m_20t7_new scissor Detection preview by Segmentatation_v8_medium_train_250 scissor Detection preview by Segmentation_V11_large_300_train_300 scissor Detection preview by Segmentation_v8_large_300_train_300
Original Image: P08148.jpg
GT: pliers, wrench
pliers, wrench Detection preview by Box_v11_medium_train_SIXray_OPIXray No objects detected Detection preview by DN_Medium_300_yolov8m_20t7_new wrench Detection preview by Segmentatation_v8_medium_train_250 wrench Detection preview by Segmentation_V11_large_300_train_300 wrench Detection preview by Segmentation_v8_large_300_train_300
Original Image: P08149.jpg
GT: pliers, wrench
pliers, wrench Detection preview by Box_v11_medium_train_SIXray_OPIXray No objects detected Detection preview by DN_Medium_300_yolov8m_20t7_new wrench Detection preview by Segmentatation_v8_medium_train_250 wrench Detection preview by Segmentation_V11_large_300_train_300 wrench Detection preview by Segmentation_v8_large_300_train_300
Original Image: P08150.jpg
GT: pliers
pliers Detection preview by Box_v11_medium_train_SIXray_OPIXray No objects detected Detection preview by DN_Medium_300_yolov8m_20t7_new No objects detected Detection preview by Segmentatation_v8_medium_train_250 No objects detected Detection preview by Segmentation_V11_large_300_train_300 No objects detected Detection preview by Segmentation_v8_large_300_train_300
Original Image: P08151.jpg
GT: pliers
pliers Detection preview by Box_v11_medium_train_SIXray_OPIXray No objects detected Detection preview by DN_Medium_300_yolov8m_20t7_new No objects detected Detection preview by Segmentatation_v8_medium_train_250 No objects detected Detection preview by Segmentation_V11_large_300_train_300 No objects detected Detection preview by Segmentation_v8_large_300_train_300
Original Image: P08152.jpg
GT: pliers, wrench
pliers, wrench Detection preview by Box_v11_medium_train_SIXray_OPIXray No objects detected Detection preview by DN_Medium_300_yolov8m_20t7_new wrench Detection preview by Segmentatation_v8_medium_train_250 wrench Detection preview by Segmentation_V11_large_300_train_300 wrench Detection preview by Segmentation_v8_large_300_train_300
Original Image: P08153.jpg
GT: pliers, wrench
pliers, wrench Detection preview by Box_v11_medium_train_SIXray_OPIXray No objects detected Detection preview by DN_Medium_300_yolov8m_20t7_new wrench Detection preview by Segmentatation_v8_medium_train_250 wrench Detection preview by Segmentation_V11_large_300_train_300 wrench Detection preview by Segmentation_v8_large_300_train_300
Original Image: P08154.jpg
GT: pliers, wrench
pliers, wrench Detection preview by Box_v11_medium_train_SIXray_OPIXray No objects detected Detection preview by DN_Medium_300_yolov8m_20t7_new wrench Detection preview by Segmentatation_v8_medium_train_250 wrench Detection preview by Segmentation_V11_large_300_train_300 wrench Detection preview by Segmentation_v8_large_300_train_300
Original Image: P08155.jpg
GT: pliers
pliers Detection preview by Box_v11_medium_train_SIXray_OPIXray No objects detected Detection preview by DN_Medium_300_yolov8m_20t7_new No objects detected Detection preview by Segmentatation_v8_medium_train_250 No objects detected Detection preview by Segmentation_V11_large_300_train_300 No objects detected Detection preview by Segmentation_v8_large_300_train_300
Original Image: P08156.jpg
GT: pliers, wrench
pliers, wrench Detection preview by Box_v11_medium_train_SIXray_OPIXray No objects detected Detection preview by DN_Medium_300_yolov8m_20t7_new wrench Detection preview by Segmentatation_v8_medium_train_250 wrench Detection preview by Segmentation_V11_large_300_train_300 wrench Detection preview by Segmentation_v8_large_300_train_300
Original Image: P08157.jpg
GT: pliers
pliers Detection preview by Box_v11_medium_train_SIXray_OPIXray No objects detected Detection preview by DN_Medium_300_yolov8m_20t7_new No objects detected Detection preview by Segmentatation_v8_medium_train_250 No objects detected Detection preview by Segmentation_V11_large_300_train_300 No objects detected Detection preview by Segmentation_v8_large_300_train_300
Original Image: P08158.jpg
GT: pliers
pliers Detection preview by Box_v11_medium_train_SIXray_OPIXray No objects detected Detection preview by DN_Medium_300_yolov8m_20t7_new No objects detected Detection preview by Segmentatation_v8_medium_train_250 No objects detected Detection preview by Segmentation_V11_large_300_train_300 No objects detected Detection preview by Segmentation_v8_large_300_train_300
Original Image: P08159.jpg
GT: pliers
pliers Detection preview by Box_v11_medium_train_SIXray_OPIXray No objects detected Detection preview by DN_Medium_300_yolov8m_20t7_new No objects detected Detection preview by Segmentatation_v8_medium_train_250 No objects detected Detection preview by Segmentation_V11_large_300_train_300 No objects detected Detection preview by Segmentation_v8_large_300_train_300
Original Image: P08160.jpg
GT: knife
knife Detection preview by Box_v11_medium_train_SIXray_OPIXray No objects detected Detection preview by DN_Medium_300_yolov8m_20t7_new knife Detection preview by Segmentatation_v8_medium_train_250 knife Detection preview by Segmentation_V11_large_300_train_300 knife Detection preview by Segmentation_v8_large_300_train_300
Original Image: P08161.jpg
GT: scissors
scissor Detection preview by Box_v11_medium_train_SIXray_OPIXray No objects detected Detection preview by DN_Medium_300_yolov8m_20t7_new scissor Detection preview by Segmentatation_v8_medium_train_250 scissor Detection preview by Segmentation_V11_large_300_train_300 scissor Detection preview by Segmentation_v8_large_300_train_300
Original Image: P08162.jpg
GT: pliers, wrench
pliers, wrench Detection preview by Box_v11_medium_train_SIXray_OPIXray No objects detected Detection preview by DN_Medium_300_yolov8m_20t7_new wrench Detection preview by Segmentatation_v8_medium_train_250 wrench Detection preview by Segmentation_V11_large_300_train_300 wrench Detection preview by Segmentation_v8_large_300_train_300
Original Image: P08163.jpg
GT: pliers, wrench
pliers, wrench Detection preview by Box_v11_medium_train_SIXray_OPIXray No objects detected Detection preview by DN_Medium_300_yolov8m_20t7_new wrench Detection preview by Segmentatation_v8_medium_train_250 wrench Detection preview by Segmentation_V11_large_300_train_300 wrench Detection preview by Segmentation_v8_large_300_train_300
Original Image: P08164.jpg
GT: pliers, wrench
pliers, wrench Detection preview by Box_v11_medium_train_SIXray_OPIXray No objects detected Detection preview by DN_Medium_300_yolov8m_20t7_new wrench Detection preview by Segmentatation_v8_medium_train_250 wrench Detection preview by Segmentation_V11_large_300_train_300 wrench Detection preview by Segmentation_v8_large_300_train_300
Original Image: P08165.jpg
GT: pliers, wrench
pliers, wrench Detection preview by Box_v11_medium_train_SIXray_OPIXray No objects detected Detection preview by DN_Medium_300_yolov8m_20t7_new wrench Detection preview by Segmentatation_v8_medium_train_250 wrench Detection preview by Segmentation_V11_large_300_train_300 wrench Detection preview by Segmentation_v8_large_300_train_300
Original Image: P08166.jpg
GT: scissors
scissor Detection preview by Box_v11_medium_train_SIXray_OPIXray No objects detected Detection preview by DN_Medium_300_yolov8m_20t7_new scissor Detection preview by Segmentatation_v8_medium_train_250 scissor Detection preview by Segmentation_V11_large_300_train_300 scissor Detection preview by Segmentation_v8_large_300_train_300
Original Image: P08167.jpg
GT: pliers, wrench
pliers, wrench Detection preview by Box_v11_medium_train_SIXray_OPIXray No objects detected Detection preview by DN_Medium_300_yolov8m_20t7_new wrench Detection preview by Segmentatation_v8_medium_train_250 wrench Detection preview by Segmentation_V11_large_300_train_300 wrench Detection preview by Segmentation_v8_large_300_train_300
Original Image: P08168.jpg
GT: pliers, wrench
pliers, wrench Detection preview by Box_v11_medium_train_SIXray_OPIXray No objects detected Detection preview by DN_Medium_300_yolov8m_20t7_new wrench Detection preview by Segmentatation_v8_medium_train_250 wrench Detection preview by Segmentation_V11_large_300_train_300 wrench Detection preview by Segmentation_v8_large_300_train_300
Original Image: P08169.jpg
GT: pliers, wrench
pliers, wrench Detection preview by Box_v11_medium_train_SIXray_OPIXray No objects detected Detection preview by DN_Medium_300_yolov8m_20t7_new wrench Detection preview by Segmentatation_v8_medium_train_250 wrench Detection preview by Segmentation_V11_large_300_train_300 wrench Detection preview by Segmentation_v8_large_300_train_300
Original Image: P08170.jpg
GT: pliers
pliers Detection preview by Box_v11_medium_train_SIXray_OPIXray No objects detected Detection preview by DN_Medium_300_yolov8m_20t7_new No objects detected Detection preview by Segmentatation_v8_medium_train_250 wrench Detection preview by Segmentation_V11_large_300_train_300 wrench Detection preview by Segmentation_v8_large_300_train_300
Original Image: P08171.jpg
GT: pliers
pliers Detection preview by Box_v11_medium_train_SIXray_OPIXray No objects detected Detection preview by DN_Medium_300_yolov8m_20t7_new wrench Detection preview by Segmentatation_v8_medium_train_250 wrench Detection preview by Segmentation_V11_large_300_train_300 wrench Detection preview by Segmentation_v8_large_300_train_300
Original Image: P08172.jpg
GT: pliers
pliers Detection preview by Box_v11_medium_train_SIXray_OPIXray No objects detected Detection preview by DN_Medium_300_yolov8m_20t7_new wrench Detection preview by Segmentatation_v8_medium_train_250 wrench Detection preview by Segmentation_V11_large_300_train_300 wrench Detection preview by Segmentation_v8_large_300_train_300
Original Image: P08173.jpg
GT: pliers, wrench
pliers, wrench Detection preview by Box_v11_medium_train_SIXray_OPIXray pliers, scissor Detection preview by DN_Medium_300_yolov8m_20t7_new wrench Detection preview by Segmentatation_v8_medium_train_250 wrench Detection preview by Segmentation_V11_large_300_train_300 wrench Detection preview by Segmentation_v8_large_300_train_300
Original Image: P08174.jpg
GT: pliers, wrench
pliers, wrench Detection preview by Box_v11_medium_train_SIXray_OPIXray pliers, scissor Detection preview by DN_Medium_300_yolov8m_20t7_new wrench Detection preview by Segmentatation_v8_medium_train_250 wrench Detection preview by Segmentation_V11_large_300_train_300 wrench Detection preview by Segmentation_v8_large_300_train_300
Original Image: P08175.jpg
GT: knife
knife Detection preview by Box_v11_medium_train_SIXray_OPIXray No objects detected Detection preview by DN_Medium_300_yolov8m_20t7_new scissor Detection preview by Segmentatation_v8_medium_train_250 scissor Detection preview by Segmentation_V11_large_300_train_300 scissor Detection preview by Segmentation_v8_large_300_train_300
Original Image: P08176.jpg
GT: knife
knife Detection preview by Box_v11_medium_train_SIXray_OPIXray No objects detected Detection preview by DN_Medium_300_yolov8m_20t7_new scissor Detection preview by Segmentatation_v8_medium_train_250 scissor Detection preview by Segmentation_V11_large_300_train_300 scissor Detection preview by Segmentation_v8_large_300_train_300
Original Image: P08177.jpg
GT: knife
knife Detection preview by Box_v11_medium_train_SIXray_OPIXray No objects detected Detection preview by DN_Medium_300_yolov8m_20t7_new scissor Detection preview by Segmentatation_v8_medium_train_250 scissor Detection preview by Segmentation_V11_large_300_train_300 scissor Detection preview by Segmentation_v8_large_300_train_300
Original Image: P08178.jpg
GT: pliers
pliers Detection preview by Box_v11_medium_train_SIXray_OPIXray pliers Detection preview by DN_Medium_300_yolov8m_20t7_new No objects detected Detection preview by Segmentatation_v8_medium_train_250 No objects detected Detection preview by Segmentation_V11_large_300_train_300 No objects detected Detection preview by Segmentation_v8_large_300_train_300
Original Image: P08179.jpg
GT: pliers
pliers Detection preview by Box_v11_medium_train_SIXray_OPIXray pliers Detection preview by DN_Medium_300_yolov8m_20t7_new No objects detected Detection preview by Segmentatation_v8_medium_train_250 No objects detected Detection preview by Segmentation_V11_large_300_train_300 No objects detected Detection preview by Segmentation_v8_large_300_train_300
Original Image: P08180.jpg
GT: pliers
pliers Detection preview by Box_v11_medium_train_SIXray_OPIXray pliers Detection preview by DN_Medium_300_yolov8m_20t7_new No objects detected Detection preview by Segmentatation_v8_medium_train_250 No objects detected Detection preview by Segmentation_V11_large_300_train_300 No objects detected Detection preview by Segmentation_v8_large_300_train_300
Original Image: P08181.jpg
GT: pliers, wrench
pliers, wrench Detection preview by Box_v11_medium_train_SIXray_OPIXray No objects detected Detection preview by DN_Medium_300_yolov8m_20t7_new wrench Detection preview by Segmentatation_v8_medium_train_250 wrench Detection preview by Segmentation_V11_large_300_train_300 scissor, wrench Detection preview by Segmentation_v8_large_300_train_300
Original Image: P08182.jpg
GT: scissors
scissor Detection preview by Box_v11_medium_train_SIXray_OPIXray No objects detected Detection preview by DN_Medium_300_yolov8m_20t7_new scissor Detection preview by Segmentatation_v8_medium_train_250 scissor Detection preview by Segmentation_V11_large_300_train_300 scissor Detection preview by Segmentation_v8_large_300_train_300
Original Image: P08183.jpg
GT: wrench
wrench Detection preview by Box_v11_medium_train_SIXray_OPIXray No objects detected Detection preview by DN_Medium_300_yolov8m_20t7_new wrench Detection preview by Segmentatation_v8_medium_train_250 wrench Detection preview by Segmentation_V11_large_300_train_300 wrench Detection preview by Segmentation_v8_large_300_train_300
Original Image: P08184.jpg
GT: wrench
wrench Detection preview by Box_v11_medium_train_SIXray_OPIXray No objects detected Detection preview by DN_Medium_300_yolov8m_20t7_new wrench Detection preview by Segmentatation_v8_medium_train_250 wrench Detection preview by Segmentation_V11_large_300_train_300 wrench Detection preview by Segmentation_v8_large_300_train_300
Original Image: P08185.jpg
GT: wrench
wrench Detection preview by Box_v11_medium_train_SIXray_OPIXray No objects detected Detection preview by DN_Medium_300_yolov8m_20t7_new wrench Detection preview by Segmentatation_v8_medium_train_250 wrench Detection preview by Segmentation_V11_large_300_train_300 wrench Detection preview by Segmentation_v8_large_300_train_300
Original Image: P08186.jpg
GT: pliers
pliers Detection preview by Box_v11_medium_train_SIXray_OPIXray No objects detected Detection preview by DN_Medium_300_yolov8m_20t7_new No objects detected Detection preview by Segmentatation_v8_medium_train_250 No objects detected Detection preview by Segmentation_V11_large_300_train_300 No objects detected Detection preview by Segmentation_v8_large_300_train_300
Original Image: P08187.jpg
GT: scissors
scissor Detection preview by Box_v11_medium_train_SIXray_OPIXray No objects detected Detection preview by DN_Medium_300_yolov8m_20t7_new scissor Detection preview by Segmentatation_v8_medium_train_250 scissor Detection preview by Segmentation_V11_large_300_train_300 scissor Detection preview by Segmentation_v8_large_300_train_300
Original Image: P08188.jpg
GT: scissors
scissor Detection preview by Box_v11_medium_train_SIXray_OPIXray No objects detected Detection preview by DN_Medium_300_yolov8m_20t7_new scissor Detection preview by Segmentatation_v8_medium_train_250 scissor Detection preview by Segmentation_V11_large_300_train_300 scissor Detection preview by Segmentation_v8_large_300_train_300
Original Image: P08189.jpg
GT: scissors
scissor Detection preview by Box_v11_medium_train_SIXray_OPIXray No objects detected Detection preview by DN_Medium_300_yolov8m_20t7_new scissor Detection preview by Segmentatation_v8_medium_train_250 scissor Detection preview by Segmentation_V11_large_300_train_300 scissor Detection preview by Segmentation_v8_large_300_train_300
Original Image: P08190.jpg
GT: scissors
scissor Detection preview by Box_v11_medium_train_SIXray_OPIXray No objects detected Detection preview by DN_Medium_300_yolov8m_20t7_new scissor Detection preview by Segmentatation_v8_medium_train_250 scissor Detection preview by Segmentation_V11_large_300_train_300 scissor Detection preview by Segmentation_v8_large_300_train_300
Original Image: P08191.jpg
GT: scissors
scissor Detection preview by Box_v11_medium_train_SIXray_OPIXray scissor Detection preview by DN_Medium_300_yolov8m_20t7_new scissor Detection preview by Segmentatation_v8_medium_train_250 scissor Detection preview by Segmentation_V11_large_300_train_300 scissor Detection preview by Segmentation_v8_large_300_train_300
Original Image: P08192.jpg
GT: scissors
scissor Detection preview by Box_v11_medium_train_SIXray_OPIXray No objects detected Detection preview by DN_Medium_300_yolov8m_20t7_new scissor Detection preview by Segmentatation_v8_medium_train_250 scissor Detection preview by Segmentation_V11_large_300_train_300 scissor Detection preview by Segmentation_v8_large_300_train_300
Original Image: P08193.jpg
GT: scissors
scissor Detection preview by Box_v11_medium_train_SIXray_OPIXray No objects detected Detection preview by DN_Medium_300_yolov8m_20t7_new scissor Detection preview by Segmentatation_v8_medium_train_250 scissor Detection preview by Segmentation_V11_large_300_train_300 scissor Detection preview by Segmentation_v8_large_300_train_300
Original Image: P08194.jpg
GT: scissors
scissor Detection preview by Box_v11_medium_train_SIXray_OPIXray No objects detected Detection preview by DN_Medium_300_yolov8m_20t7_new scissor Detection preview by Segmentatation_v8_medium_train_250 scissor Detection preview by Segmentation_V11_large_300_train_300 scissor Detection preview by Segmentation_v8_large_300_train_300
Original Image: P08195.jpg
GT: scissors
scissor Detection preview by Box_v11_medium_train_SIXray_OPIXray No objects detected Detection preview by DN_Medium_300_yolov8m_20t7_new scissor Detection preview by Segmentatation_v8_medium_train_250 scissor Detection preview by Segmentation_V11_large_300_train_300 scissor Detection preview by Segmentation_v8_large_300_train_300
Original Image: P08196.jpg
GT: scissors
scissor Detection preview by Box_v11_medium_train_SIXray_OPIXray No objects detected Detection preview by DN_Medium_300_yolov8m_20t7_new scissor Detection preview by Segmentatation_v8_medium_train_250 scissor Detection preview by Segmentation_V11_large_300_train_300 scissor Detection preview by Segmentation_v8_large_300_train_300
Original Image: P08197.jpg
GT: scissors
scissor Detection preview by Box_v11_medium_train_SIXray_OPIXray scissor Detection preview by DN_Medium_300_yolov8m_20t7_new scissor Detection preview by Segmentatation_v8_medium_train_250 scissor Detection preview by Segmentation_V11_large_300_train_300 scissor Detection preview by Segmentation_v8_large_300_train_300
Original Image: P08198.jpg
GT: scissors
scissor Detection preview by Box_v11_medium_train_SIXray_OPIXray No objects detected Detection preview by DN_Medium_300_yolov8m_20t7_new scissor Detection preview by Segmentatation_v8_medium_train_250 scissor Detection preview by Segmentation_V11_large_300_train_300 scissor Detection preview by Segmentation_v8_large_300_train_300
Original Image: P08199.jpg
GT: scissors
scissor Detection preview by Box_v11_medium_train_SIXray_OPIXray No objects detected Detection preview by DN_Medium_300_yolov8m_20t7_new scissor Detection preview by Segmentatation_v8_medium_train_250 scissor Detection preview by Segmentation_V11_large_300_train_300 scissor Detection preview by Segmentation_v8_large_300_train_300
Original Image: P08200.jpg
GT: scissors
scissor Detection preview by Box_v11_medium_train_SIXray_OPIXray No objects detected Detection preview by DN_Medium_300_yolov8m_20t7_new scissor Detection preview by Segmentatation_v8_medium_train_250 scissor Detection preview by Segmentation_V11_large_300_train_300 scissor Detection preview by Segmentation_v8_large_300_train_300
Original Image: P08201.jpg
GT: pliers, wrench
pliers, wrench Detection preview by Box_v11_medium_train_SIXray_OPIXray pliers Detection preview by DN_Medium_300_yolov8m_20t7_new wrench Detection preview by Segmentatation_v8_medium_train_250 wrench Detection preview by Segmentation_V11_large_300_train_300 wrench Detection preview by Segmentation_v8_large_300_train_300
Original Image: P08202.jpg
GT: pliers, wrench
pliers, wrench Detection preview by Box_v11_medium_train_SIXray_OPIXray pliers Detection preview by DN_Medium_300_yolov8m_20t7_new wrench Detection preview by Segmentatation_v8_medium_train_250 wrench Detection preview by Segmentation_V11_large_300_train_300 wrench Detection preview by Segmentation_v8_large_300_train_300
Original Image: P08203.jpg
GT: pliers, wrench
pliers, wrench Detection preview by Box_v11_medium_train_SIXray_OPIXray pliers Detection preview by DN_Medium_300_yolov8m_20t7_new wrench Detection preview by Segmentatation_v8_medium_train_250 wrench Detection preview by Segmentation_V11_large_300_train_300 wrench Detection preview by Segmentation_v8_large_300_train_300
Original Image: P08204.jpg
GT: pliers
pliers Detection preview by Box_v11_medium_train_SIXray_OPIXray No objects detected Detection preview by DN_Medium_300_yolov8m_20t7_new No objects detected Detection preview by Segmentatation_v8_medium_train_250 No objects detected Detection preview by Segmentation_V11_large_300_train_300 No objects detected Detection preview by Segmentation_v8_large_300_train_300
Original Image: P08205.jpg
GT: pliers
pliers Detection preview by Box_v11_medium_train_SIXray_OPIXray No objects detected Detection preview by DN_Medium_300_yolov8m_20t7_new No objects detected Detection preview by Segmentatation_v8_medium_train_250 No objects detected Detection preview by Segmentation_V11_large_300_train_300 No objects detected Detection preview by Segmentation_v8_large_300_train_300
Original Image: P08206.jpg
GT: pliers
pliers Detection preview by Box_v11_medium_train_SIXray_OPIXray No objects detected Detection preview by DN_Medium_300_yolov8m_20t7_new scissor Detection preview by Segmentatation_v8_medium_train_250 No objects detected Detection preview by Segmentation_V11_large_300_train_300 No objects detected Detection preview by Segmentation_v8_large_300_train_300
Original Image: P08207.jpg
GT: pliers
pliers Detection preview by Box_v11_medium_train_SIXray_OPIXray No objects detected Detection preview by DN_Medium_300_yolov8m_20t7_new scissor Detection preview by Segmentatation_v8_medium_train_250 No objects detected Detection preview by Segmentation_V11_large_300_train_300 No objects detected Detection preview by Segmentation_v8_large_300_train_300
Original Image: P08208.jpg
GT: pliers
pliers Detection preview by Box_v11_medium_train_SIXray_OPIXray No objects detected Detection preview by DN_Medium_300_yolov8m_20t7_new No objects detected Detection preview by Segmentatation_v8_medium_train_250 No objects detected Detection preview by Segmentation_V11_large_300_train_300 No objects detected Detection preview by Segmentation_v8_large_300_train_300
Original Image: P08209.jpg
GT: pliers, wrench
pliers, wrench Detection preview by Box_v11_medium_train_SIXray_OPIXray No objects detected Detection preview by DN_Medium_300_yolov8m_20t7_new wrench Detection preview by Segmentatation_v8_medium_train_250 wrench Detection preview by Segmentation_V11_large_300_train_300 wrench Detection preview by Segmentation_v8_large_300_train_300
Original Image: P08210.jpg
GT: pliers, wrench
pliers, wrench Detection preview by Box_v11_medium_train_SIXray_OPIXray No objects detected Detection preview by DN_Medium_300_yolov8m_20t7_new wrench Detection preview by Segmentatation_v8_medium_train_250 wrench Detection preview by Segmentation_V11_large_300_train_300 wrench Detection preview by Segmentation_v8_large_300_train_300
Original Image: P08211.jpg
GT: pliers
pliers Detection preview by Box_v11_medium_train_SIXray_OPIXray No objects detected Detection preview by DN_Medium_300_yolov8m_20t7_new No objects detected Detection preview by Segmentatation_v8_medium_train_250 No objects detected Detection preview by Segmentation_V11_large_300_train_300 No objects detected Detection preview by Segmentation_v8_large_300_train_300
Original Image: P08212.jpg
GT: pliers
pliers Detection preview by Box_v11_medium_train_SIXray_OPIXray No objects detected Detection preview by DN_Medium_300_yolov8m_20t7_new No objects detected Detection preview by Segmentatation_v8_medium_train_250 No objects detected Detection preview by Segmentation_V11_large_300_train_300 No objects detected Detection preview by Segmentation_v8_large_300_train_300
Original Image: P08213.jpg
GT: pliers
pliers Detection preview by Box_v11_medium_train_SIXray_OPIXray pliers Detection preview by DN_Medium_300_yolov8m_20t7_new No objects detected Detection preview by Segmentatation_v8_medium_train_250 No objects detected Detection preview by Segmentation_V11_large_300_train_300 No objects detected Detection preview by Segmentation_v8_large_300_train_300
Original Image: P08214.jpg
GT: pliers
pliers Detection preview by Box_v11_medium_train_SIXray_OPIXray No objects detected Detection preview by DN_Medium_300_yolov8m_20t7_new No objects detected Detection preview by Segmentatation_v8_medium_train_250 No objects detected Detection preview by Segmentation_V11_large_300_train_300 No objects detected Detection preview by Segmentation_v8_large_300_train_300
Original Image: P08215.jpg
GT: pliers, wrench
pliers, wrench Detection preview by Box_v11_medium_train_SIXray_OPIXray pliers Detection preview by DN_Medium_300_yolov8m_20t7_new wrench Detection preview by Segmentatation_v8_medium_train_250 wrench Detection preview by Segmentation_V11_large_300_train_300 wrench Detection preview by Segmentation_v8_large_300_train_300
Original Image: P08216.jpg
GT: knife
knife Detection preview by Box_v11_medium_train_SIXray_OPIXray No objects detected Detection preview by DN_Medium_300_yolov8m_20t7_new knife Detection preview by Segmentatation_v8_medium_train_250 knife Detection preview by Segmentation_V11_large_300_train_300 knife Detection preview by Segmentation_v8_large_300_train_300
Original Image: P08217.jpg
GT: knife
knife Detection preview by Box_v11_medium_train_SIXray_OPIXray No objects detected Detection preview by DN_Medium_300_yolov8m_20t7_new knife Detection preview by Segmentatation_v8_medium_train_250 knife Detection preview by Segmentation_V11_large_300_train_300 knife Detection preview by Segmentation_v8_large_300_train_300
Original Image: P08218.jpg
GT: knife
knife Detection preview by Box_v11_medium_train_SIXray_OPIXray No objects detected Detection preview by DN_Medium_300_yolov8m_20t7_new knife Detection preview by Segmentatation_v8_medium_train_250 knife Detection preview by Segmentation_V11_large_300_train_300 knife Detection preview by Segmentation_v8_large_300_train_300
Original Image: P08219.jpg
GT: pliers
pliers Detection preview by Box_v11_medium_train_SIXray_OPIXray pliers Detection preview by DN_Medium_300_yolov8m_20t7_new No objects detected Detection preview by Segmentatation_v8_medium_train_250 No objects detected Detection preview by Segmentation_V11_large_300_train_300 No objects detected Detection preview by Segmentation_v8_large_300_train_300
Original Image: P08220.jpg
GT: pliers
pliers Detection preview by Box_v11_medium_train_SIXray_OPIXray pliers Detection preview by DN_Medium_300_yolov8m_20t7_new No objects detected Detection preview by Segmentatation_v8_medium_train_250 No objects detected Detection preview by Segmentation_V11_large_300_train_300 No objects detected Detection preview by Segmentation_v8_large_300_train_300
Original Image: P08221.jpg
GT: scissors
scissor Detection preview by Box_v11_medium_train_SIXray_OPIXray No objects detected Detection preview by DN_Medium_300_yolov8m_20t7_new scissor Detection preview by Segmentatation_v8_medium_train_250 scissor Detection preview by Segmentation_V11_large_300_train_300 scissor Detection preview by Segmentation_v8_large_300_train_300
Original Image: P08222.jpg
GT: scissors
scissor Detection preview by Box_v11_medium_train_SIXray_OPIXray No objects detected Detection preview by DN_Medium_300_yolov8m_20t7_new scissor Detection preview by Segmentatation_v8_medium_train_250 scissor Detection preview by Segmentation_V11_large_300_train_300 scissor Detection preview by Segmentation_v8_large_300_train_300
Original Image: P08223.jpg
GT: scissors
scissor Detection preview by Box_v11_medium_train_SIXray_OPIXray No objects detected Detection preview by DN_Medium_300_yolov8m_20t7_new scissor Detection preview by Segmentatation_v8_medium_train_250 scissor Detection preview by Segmentation_V11_large_300_train_300 scissor Detection preview by Segmentation_v8_large_300_train_300
Original Image: P08224.jpg
GT: scissors
scissor Detection preview by Box_v11_medium_train_SIXray_OPIXray No objects detected Detection preview by DN_Medium_300_yolov8m_20t7_new scissor Detection preview by Segmentatation_v8_medium_train_250 scissor Detection preview by Segmentation_V11_large_300_train_300 scissor Detection preview by Segmentation_v8_large_300_train_300
Original Image: P08225.jpg
GT: scissors
scissor Detection preview by Box_v11_medium_train_SIXray_OPIXray No objects detected Detection preview by DN_Medium_300_yolov8m_20t7_new scissor Detection preview by Segmentatation_v8_medium_train_250 scissor Detection preview by Segmentation_V11_large_300_train_300 scissor Detection preview by Segmentation_v8_large_300_train_300
Original Image: P08226.jpg
GT: scissors
scissor Detection preview by Box_v11_medium_train_SIXray_OPIXray No objects detected Detection preview by DN_Medium_300_yolov8m_20t7_new scissor Detection preview by Segmentatation_v8_medium_train_250 scissor Detection preview by Segmentation_V11_large_300_train_300 scissor Detection preview by Segmentation_v8_large_300_train_300
Original Image: P08227.jpg
GT: pliers, wrench
pliers, wrench Detection preview by Box_v11_medium_train_SIXray_OPIXray No objects detected Detection preview by DN_Medium_300_yolov8m_20t7_new wrench Detection preview by Segmentatation_v8_medium_train_250 wrench Detection preview by Segmentation_V11_large_300_train_300 wrench Detection preview by Segmentation_v8_large_300_train_300
Original Image: P08228.jpg
GT: pliers
pliers Detection preview by Box_v11_medium_train_SIXray_OPIXray No objects detected Detection preview by DN_Medium_300_yolov8m_20t7_new No objects detected Detection preview by Segmentatation_v8_medium_train_250 No objects detected Detection preview by Segmentation_V11_large_300_train_300 No objects detected Detection preview by Segmentation_v8_large_300_train_300
Original Image: P08229.jpg
GT: pliers
pliers Detection preview by Box_v11_medium_train_SIXray_OPIXray pliers Detection preview by DN_Medium_300_yolov8m_20t7_new No objects detected Detection preview by Segmentatation_v8_medium_train_250 No objects detected Detection preview by Segmentation_V11_large_300_train_300 No objects detected Detection preview by Segmentation_v8_large_300_train_300
Original Image: P08230.jpg
GT: pliers
pliers Detection preview by Box_v11_medium_train_SIXray_OPIXray No objects detected Detection preview by DN_Medium_300_yolov8m_20t7_new No objects detected Detection preview by Segmentatation_v8_medium_train_250 No objects detected Detection preview by Segmentation_V11_large_300_train_300 No objects detected Detection preview by Segmentation_v8_large_300_train_300
Original Image: P08231.jpg
GT: pliers
pliers Detection preview by Box_v11_medium_train_SIXray_OPIXray No objects detected Detection preview by DN_Medium_300_yolov8m_20t7_new No objects detected Detection preview by Segmentatation_v8_medium_train_250 No objects detected Detection preview by Segmentation_V11_large_300_train_300 No objects detected Detection preview by Segmentation_v8_large_300_train_300
Original Image: P08232.jpg
GT: pliers
pliers Detection preview by Box_v11_medium_train_SIXray_OPIXray pliers Detection preview by DN_Medium_300_yolov8m_20t7_new No objects detected Detection preview by Segmentatation_v8_medium_train_250 No objects detected Detection preview by Segmentation_V11_large_300_train_300 No objects detected Detection preview by Segmentation_v8_large_300_train_300
Original Image: P08233.jpg
GT: pliers
pliers Detection preview by Box_v11_medium_train_SIXray_OPIXray pliers Detection preview by DN_Medium_300_yolov8m_20t7_new No objects detected Detection preview by Segmentatation_v8_medium_train_250 No objects detected Detection preview by Segmentation_V11_large_300_train_300 No objects detected Detection preview by Segmentation_v8_large_300_train_300
Original Image: P08234.jpg
GT: pliers
pliers Detection preview by Box_v11_medium_train_SIXray_OPIXray No objects detected Detection preview by DN_Medium_300_yolov8m_20t7_new No objects detected Detection preview by Segmentatation_v8_medium_train_250 No objects detected Detection preview by Segmentation_V11_large_300_train_300 No objects detected Detection preview by Segmentation_v8_large_300_train_300
Original Image: P08235.jpg
GT: scissors
scissor Detection preview by Box_v11_medium_train_SIXray_OPIXray No objects detected Detection preview by DN_Medium_300_yolov8m_20t7_new scissor Detection preview by Segmentatation_v8_medium_train_250 scissor Detection preview by Segmentation_V11_large_300_train_300 scissor Detection preview by Segmentation_v8_large_300_train_300
Original Image: P08236.jpg
GT: scissors
scissor Detection preview by Box_v11_medium_train_SIXray_OPIXray No objects detected Detection preview by DN_Medium_300_yolov8m_20t7_new scissor Detection preview by Segmentatation_v8_medium_train_250 scissor Detection preview by Segmentation_V11_large_300_train_300 scissor Detection preview by Segmentation_v8_large_300_train_300
Original Image: P08237.jpg
GT: scissors
scissor Detection preview by Box_v11_medium_train_SIXray_OPIXray No objects detected Detection preview by DN_Medium_300_yolov8m_20t7_new scissor Detection preview by Segmentatation_v8_medium_train_250 scissor Detection preview by Segmentation_V11_large_300_train_300 scissor Detection preview by Segmentation_v8_large_300_train_300
Original Image: P08238.jpg
GT: scissors
scissor Detection preview by Box_v11_medium_train_SIXray_OPIXray No objects detected Detection preview by DN_Medium_300_yolov8m_20t7_new scissor Detection preview by Segmentatation_v8_medium_train_250 scissor Detection preview by Segmentation_V11_large_300_train_300 scissor Detection preview by Segmentation_v8_large_300_train_300
Original Image: P08239.jpg
GT: pliers, wrench
pliers, wrench Detection preview by Box_v11_medium_train_SIXray_OPIXray No objects detected Detection preview by DN_Medium_300_yolov8m_20t7_new wrench Detection preview by Segmentatation_v8_medium_train_250 wrench Detection preview by Segmentation_V11_large_300_train_300 wrench Detection preview by Segmentation_v8_large_300_train_300
Original Image: P08240.jpg
GT: pliers, wrench
pliers, wrench Detection preview by Box_v11_medium_train_SIXray_OPIXray No objects detected Detection preview by DN_Medium_300_yolov8m_20t7_new wrench Detection preview by Segmentatation_v8_medium_train_250 wrench Detection preview by Segmentation_V11_large_300_train_300 wrench Detection preview by Segmentation_v8_large_300_train_300
Original Image: P08241.jpg
GT: pliers, wrench
pliers, wrench Detection preview by Box_v11_medium_train_SIXray_OPIXray No objects detected Detection preview by DN_Medium_300_yolov8m_20t7_new wrench Detection preview by Segmentatation_v8_medium_train_250 wrench Detection preview by Segmentation_V11_large_300_train_300 wrench Detection preview by Segmentation_v8_large_300_train_300
Original Image: P08242.jpg
GT: pliers, wrench
pliers, wrench Detection preview by Box_v11_medium_train_SIXray_OPIXray No objects detected Detection preview by DN_Medium_300_yolov8m_20t7_new wrench Detection preview by Segmentatation_v8_medium_train_250 wrench Detection preview by Segmentation_V11_large_300_train_300 wrench Detection preview by Segmentation_v8_large_300_train_300
Original Image: P08243.jpg
GT: wrench
wrench Detection preview by Box_v11_medium_train_SIXray_OPIXray wrench Detection preview by DN_Medium_300_yolov8m_20t7_new wrench Detection preview by Segmentatation_v8_medium_train_250 wrench Detection preview by Segmentation_V11_large_300_train_300 wrench Detection preview by Segmentation_v8_large_300_train_300
Original Image: P08244.jpg
GT: wrench
wrench Detection preview by Box_v11_medium_train_SIXray_OPIXray wrench Detection preview by DN_Medium_300_yolov8m_20t7_new wrench Detection preview by Segmentatation_v8_medium_train_250 wrench Detection preview by Segmentation_V11_large_300_train_300 wrench Detection preview by Segmentation_v8_large_300_train_300
Original Image: P08245.jpg
GT: pliers
pliers Detection preview by Box_v11_medium_train_SIXray_OPIXray No objects detected Detection preview by DN_Medium_300_yolov8m_20t7_new No objects detected Detection preview by Segmentatation_v8_medium_train_250 wrench Detection preview by Segmentation_V11_large_300_train_300 No objects detected Detection preview by Segmentation_v8_large_300_train_300
Original Image: P08246.jpg
GT: pliers
pliers Detection preview by Box_v11_medium_train_SIXray_OPIXray No objects detected Detection preview by DN_Medium_300_yolov8m_20t7_new No objects detected Detection preview by Segmentatation_v8_medium_train_250 wrench Detection preview by Segmentation_V11_large_300_train_300 No objects detected Detection preview by Segmentation_v8_large_300_train_300
Original Image: P08247.jpg
GT: pliers
pliers Detection preview by Box_v11_medium_train_SIXray_OPIXray No objects detected Detection preview by DN_Medium_300_yolov8m_20t7_new No objects detected Detection preview by Segmentatation_v8_medium_train_250 wrench Detection preview by Segmentation_V11_large_300_train_300 No objects detected Detection preview by Segmentation_v8_large_300_train_300
Original Image: P08248.jpg
GT: pliers
pliers Detection preview by Box_v11_medium_train_SIXray_OPIXray No objects detected Detection preview by DN_Medium_300_yolov8m_20t7_new No objects detected Detection preview by Segmentatation_v8_medium_train_250 No objects detected Detection preview by Segmentation_V11_large_300_train_300 No objects detected Detection preview by Segmentation_v8_large_300_train_300
Original Image: P08249.jpg
GT: pliers
pliers Detection preview by Box_v11_medium_train_SIXray_OPIXray No objects detected Detection preview by DN_Medium_300_yolov8m_20t7_new No objects detected Detection preview by Segmentatation_v8_medium_train_250 No objects detected Detection preview by Segmentation_V11_large_300_train_300 No objects detected Detection preview by Segmentation_v8_large_300_train_300
Original Image: P08250.jpg
GT: pliers
pliers Detection preview by Box_v11_medium_train_SIXray_OPIXray No objects detected Detection preview by DN_Medium_300_yolov8m_20t7_new No objects detected Detection preview by Segmentatation_v8_medium_train_250 No objects detected Detection preview by Segmentation_V11_large_300_train_300 No objects detected Detection preview by Segmentation_v8_large_300_train_300
Original Image: P08251.jpg
GT: pliers
pliers Detection preview by Box_v11_medium_train_SIXray_OPIXray No objects detected Detection preview by DN_Medium_300_yolov8m_20t7_new No objects detected Detection preview by Segmentatation_v8_medium_train_250 No objects detected Detection preview by Segmentation_V11_large_300_train_300 No objects detected Detection preview by Segmentation_v8_large_300_train_300
Original Image: P08252.jpg
GT: pliers
pliers Detection preview by Box_v11_medium_train_SIXray_OPIXray No objects detected Detection preview by DN_Medium_300_yolov8m_20t7_new No objects detected Detection preview by Segmentatation_v8_medium_train_250 No objects detected Detection preview by Segmentation_V11_large_300_train_300 No objects detected Detection preview by Segmentation_v8_large_300_train_300
Original Image: P08253.jpg
GT: wrench
wrench Detection preview by Box_v11_medium_train_SIXray_OPIXray wrench Detection preview by DN_Medium_300_yolov8m_20t7_new wrench Detection preview by Segmentatation_v8_medium_train_250 wrench Detection preview by Segmentation_V11_large_300_train_300 wrench Detection preview by Segmentation_v8_large_300_train_300
Original Image: P08254.jpg
GT: pliers, wrench
pliers, wrench Detection preview by Box_v11_medium_train_SIXray_OPIXray No objects detected Detection preview by DN_Medium_300_yolov8m_20t7_new wrench Detection preview by Segmentatation_v8_medium_train_250 wrench Detection preview by Segmentation_V11_large_300_train_300 wrench Detection preview by Segmentation_v8_large_300_train_300
Original Image: P08255.jpg
GT: pliers, wrench
pliers, wrench Detection preview by Box_v11_medium_train_SIXray_OPIXray No objects detected Detection preview by DN_Medium_300_yolov8m_20t7_new wrench Detection preview by Segmentatation_v8_medium_train_250 wrench Detection preview by Segmentation_V11_large_300_train_300 wrench Detection preview by Segmentation_v8_large_300_train_300
Original Image: P08256.jpg
GT: pliers, wrench
pliers, wrench Detection preview by Box_v11_medium_train_SIXray_OPIXray No objects detected Detection preview by DN_Medium_300_yolov8m_20t7_new wrench Detection preview by Segmentatation_v8_medium_train_250 wrench Detection preview by Segmentation_V11_large_300_train_300 wrench Detection preview by Segmentation_v8_large_300_train_300
Original Image: P08257.jpg
GT: pliers, wrench
pliers, wrench Detection preview by Box_v11_medium_train_SIXray_OPIXray No objects detected Detection preview by DN_Medium_300_yolov8m_20t7_new wrench Detection preview by Segmentatation_v8_medium_train_250 wrench Detection preview by Segmentation_V11_large_300_train_300 wrench Detection preview by Segmentation_v8_large_300_train_300
Original Image: P08258.jpg
GT: pliers, wrench
pliers, wrench Detection preview by Box_v11_medium_train_SIXray_OPIXray No objects detected Detection preview by DN_Medium_300_yolov8m_20t7_new wrench Detection preview by Segmentatation_v8_medium_train_250 wrench Detection preview by Segmentation_V11_large_300_train_300 wrench Detection preview by Segmentation_v8_large_300_train_300
Original Image: P08259.jpg
GT: pliers, wrench
pliers, wrench Detection preview by Box_v11_medium_train_SIXray_OPIXray No objects detected Detection preview by DN_Medium_300_yolov8m_20t7_new wrench Detection preview by Segmentatation_v8_medium_train_250 wrench Detection preview by Segmentation_V11_large_300_train_300 wrench Detection preview by Segmentation_v8_large_300_train_300
Original Image: P08260.jpg
GT: pliers, wrench
pliers, wrench Detection preview by Box_v11_medium_train_SIXray_OPIXray No objects detected Detection preview by DN_Medium_300_yolov8m_20t7_new wrench Detection preview by Segmentatation_v8_medium_train_250 wrench Detection preview by Segmentation_V11_large_300_train_300 wrench Detection preview by Segmentation_v8_large_300_train_300
Original Image: P08261.jpg
GT: scissors
scissor Detection preview by Box_v11_medium_train_SIXray_OPIXray No objects detected Detection preview by DN_Medium_300_yolov8m_20t7_new scissor Detection preview by Segmentatation_v8_medium_train_250 scissor Detection preview by Segmentation_V11_large_300_train_300 scissor Detection preview by Segmentation_v8_large_300_train_300
Original Image: P08262.jpg
GT: scissors
scissor Detection preview by Box_v11_medium_train_SIXray_OPIXray No objects detected Detection preview by DN_Medium_300_yolov8m_20t7_new scissor Detection preview by Segmentatation_v8_medium_train_250 scissor Detection preview by Segmentation_V11_large_300_train_300 scissor Detection preview by Segmentation_v8_large_300_train_300
Original Image: P08263.jpg
GT: scissors
scissor Detection preview by Box_v11_medium_train_SIXray_OPIXray No objects detected Detection preview by DN_Medium_300_yolov8m_20t7_new scissor Detection preview by Segmentatation_v8_medium_train_250 scissor Detection preview by Segmentation_V11_large_300_train_300 scissor Detection preview by Segmentation_v8_large_300_train_300
Original Image: P08264.jpg
GT: scissors
scissor Detection preview by Box_v11_medium_train_SIXray_OPIXray No objects detected Detection preview by DN_Medium_300_yolov8m_20t7_new scissor Detection preview by Segmentatation_v8_medium_train_250 scissor Detection preview by Segmentation_V11_large_300_train_300 scissor Detection preview by Segmentation_v8_large_300_train_300
Original Image: P08265.jpg
GT: pliers
pliers Detection preview by Box_v11_medium_train_SIXray_OPIXray No objects detected Detection preview by DN_Medium_300_yolov8m_20t7_new No objects detected Detection preview by Segmentatation_v8_medium_train_250 No objects detected Detection preview by Segmentation_V11_large_300_train_300 No objects detected Detection preview by Segmentation_v8_large_300_train_300
Original Image: P08266.jpg
GT: pliers
pliers Detection preview by Box_v11_medium_train_SIXray_OPIXray No objects detected Detection preview by DN_Medium_300_yolov8m_20t7_new No objects detected Detection preview by Segmentatation_v8_medium_train_250 No objects detected Detection preview by Segmentation_V11_large_300_train_300 No objects detected Detection preview by Segmentation_v8_large_300_train_300
Original Image: P08267.jpg
GT: pliers
pliers Detection preview by Box_v11_medium_train_SIXray_OPIXray No objects detected Detection preview by DN_Medium_300_yolov8m_20t7_new No objects detected Detection preview by Segmentatation_v8_medium_train_250 No objects detected Detection preview by Segmentation_V11_large_300_train_300 No objects detected Detection preview by Segmentation_v8_large_300_train_300
Original Image: P08268.jpg
GT: pliers
pliers Detection preview by Box_v11_medium_train_SIXray_OPIXray No objects detected Detection preview by DN_Medium_300_yolov8m_20t7_new No objects detected Detection preview by Segmentatation_v8_medium_train_250 No objects detected Detection preview by Segmentation_V11_large_300_train_300 No objects detected Detection preview by Segmentation_v8_large_300_train_300
Original Image: P08269.jpg
GT: wrench
wrench Detection preview by Box_v11_medium_train_SIXray_OPIXray No objects detected Detection preview by DN_Medium_300_yolov8m_20t7_new wrench Detection preview by Segmentatation_v8_medium_train_250 wrench Detection preview by Segmentation_V11_large_300_train_300 wrench Detection preview by Segmentation_v8_large_300_train_300
Original Image: P08270.jpg
GT: wrench
wrench Detection preview by Box_v11_medium_train_SIXray_OPIXray No objects detected Detection preview by DN_Medium_300_yolov8m_20t7_new wrench Detection preview by Segmentatation_v8_medium_train_250 wrench Detection preview by Segmentation_V11_large_300_train_300 wrench Detection preview by Segmentation_v8_large_300_train_300
Original Image: P08271.jpg
GT: pliers
pliers Detection preview by Box_v11_medium_train_SIXray_OPIXray No objects detected Detection preview by DN_Medium_300_yolov8m_20t7_new No objects detected Detection preview by Segmentatation_v8_medium_train_250 No objects detected Detection preview by Segmentation_V11_large_300_train_300 No objects detected Detection preview by Segmentation_v8_large_300_train_300
Original Image: P08272.jpg
GT: pliers
pliers Detection preview by Box_v11_medium_train_SIXray_OPIXray No objects detected Detection preview by DN_Medium_300_yolov8m_20t7_new No objects detected Detection preview by Segmentatation_v8_medium_train_250 No objects detected Detection preview by Segmentation_V11_large_300_train_300 No objects detected Detection preview by Segmentation_v8_large_300_train_300
Original Image: P08273.jpg
GT: pliers
pliers Detection preview by Box_v11_medium_train_SIXray_OPIXray No objects detected Detection preview by DN_Medium_300_yolov8m_20t7_new No objects detected Detection preview by Segmentatation_v8_medium_train_250 No objects detected Detection preview by Segmentation_V11_large_300_train_300 No objects detected Detection preview by Segmentation_v8_large_300_train_300
Original Image: P08274.jpg
GT: pliers
pliers Detection preview by Box_v11_medium_train_SIXray_OPIXray No objects detected Detection preview by DN_Medium_300_yolov8m_20t7_new No objects detected Detection preview by Segmentatation_v8_medium_train_250 No objects detected Detection preview by Segmentation_V11_large_300_train_300 No objects detected Detection preview by Segmentation_v8_large_300_train_300
Original Image: P08275.jpg
GT: wrench
wrench Detection preview by Box_v11_medium_train_SIXray_OPIXray No objects detected Detection preview by DN_Medium_300_yolov8m_20t7_new wrench Detection preview by Segmentatation_v8_medium_train_250 wrench Detection preview by Segmentation_V11_large_300_train_300 wrench Detection preview by Segmentation_v8_large_300_train_300
Original Image: P08276.jpg
GT: wrench
wrench Detection preview by Box_v11_medium_train_SIXray_OPIXray No objects detected Detection preview by DN_Medium_300_yolov8m_20t7_new wrench Detection preview by Segmentatation_v8_medium_train_250 wrench Detection preview by Segmentation_V11_large_300_train_300 wrench Detection preview by Segmentation_v8_large_300_train_300
Original Image: P08277.jpg
GT: pliers
pliers Detection preview by Box_v11_medium_train_SIXray_OPIXray No objects detected Detection preview by DN_Medium_300_yolov8m_20t7_new No objects detected Detection preview by Segmentatation_v8_medium_train_250 No objects detected Detection preview by Segmentation_V11_large_300_train_300 No objects detected Detection preview by Segmentation_v8_large_300_train_300
Original Image: P08278.jpg
GT: pliers
pliers Detection preview by Box_v11_medium_train_SIXray_OPIXray No objects detected Detection preview by DN_Medium_300_yolov8m_20t7_new No objects detected Detection preview by Segmentatation_v8_medium_train_250 No objects detected Detection preview by Segmentation_V11_large_300_train_300 No objects detected Detection preview by Segmentation_v8_large_300_train_300
Original Image: P08279.jpg
GT: pliers
pliers Detection preview by Box_v11_medium_train_SIXray_OPIXray No objects detected Detection preview by DN_Medium_300_yolov8m_20t7_new No objects detected Detection preview by Segmentatation_v8_medium_train_250 No objects detected Detection preview by Segmentation_V11_large_300_train_300 No objects detected Detection preview by Segmentation_v8_large_300_train_300
Original Image: P08280.jpg
GT: pliers
pliers Detection preview by Box_v11_medium_train_SIXray_OPIXray No objects detected Detection preview by DN_Medium_300_yolov8m_20t7_new No objects detected Detection preview by Segmentatation_v8_medium_train_250 No objects detected Detection preview by Segmentation_V11_large_300_train_300 No objects detected Detection preview by Segmentation_v8_large_300_train_300
Original Image: P08281.jpg
GT: pliers
pliers Detection preview by Box_v11_medium_train_SIXray_OPIXray No objects detected Detection preview by DN_Medium_300_yolov8m_20t7_new No objects detected Detection preview by Segmentatation_v8_medium_train_250 No objects detected Detection preview by Segmentation_V11_large_300_train_300 No objects detected Detection preview by Segmentation_v8_large_300_train_300
Original Image: P08282.jpg
GT: pliers
pliers Detection preview by Box_v11_medium_train_SIXray_OPIXray No objects detected Detection preview by DN_Medium_300_yolov8m_20t7_new No objects detected Detection preview by Segmentatation_v8_medium_train_250 No objects detected Detection preview by Segmentation_V11_large_300_train_300 No objects detected Detection preview by Segmentation_v8_large_300_train_300
Original Image: P08283.jpg
GT: pliers
pliers Detection preview by Box_v11_medium_train_SIXray_OPIXray No objects detected Detection preview by DN_Medium_300_yolov8m_20t7_new No objects detected Detection preview by Segmentatation_v8_medium_train_250 No objects detected Detection preview by Segmentation_V11_large_300_train_300 No objects detected Detection preview by Segmentation_v8_large_300_train_300
Original Image: P08284.jpg
GT: pliers
pliers Detection preview by Box_v11_medium_train_SIXray_OPIXray No objects detected Detection preview by DN_Medium_300_yolov8m_20t7_new No objects detected Detection preview by Segmentatation_v8_medium_train_250 No objects detected Detection preview by Segmentation_V11_large_300_train_300 No objects detected Detection preview by Segmentation_v8_large_300_train_300
Original Image: P08285.jpg
GT: pliers
pliers Detection preview by Box_v11_medium_train_SIXray_OPIXray No objects detected Detection preview by DN_Medium_300_yolov8m_20t7_new No objects detected Detection preview by Segmentatation_v8_medium_train_250 No objects detected Detection preview by Segmentation_V11_large_300_train_300 No objects detected Detection preview by Segmentation_v8_large_300_train_300
Original Image: P08286.jpg
GT: pliers
pliers Detection preview by Box_v11_medium_train_SIXray_OPIXray No objects detected Detection preview by DN_Medium_300_yolov8m_20t7_new No objects detected Detection preview by Segmentatation_v8_medium_train_250 No objects detected Detection preview by Segmentation_V11_large_300_train_300 No objects detected Detection preview by Segmentation_v8_large_300_train_300
Original Image: P08287.jpg
GT: pliers
pliers Detection preview by Box_v11_medium_train_SIXray_OPIXray pliers Detection preview by DN_Medium_300_yolov8m_20t7_new No objects detected Detection preview by Segmentatation_v8_medium_train_250 No objects detected Detection preview by Segmentation_V11_large_300_train_300 No objects detected Detection preview by Segmentation_v8_large_300_train_300
Original Image: P08288.jpg
GT: pliers
pliers Detection preview by Box_v11_medium_train_SIXray_OPIXray No objects detected Detection preview by DN_Medium_300_yolov8m_20t7_new No objects detected Detection preview by Segmentatation_v8_medium_train_250 No objects detected Detection preview by Segmentation_V11_large_300_train_300 No objects detected Detection preview by Segmentation_v8_large_300_train_300
Original Image: P08289.jpg
GT: pliers
pliers Detection preview by Box_v11_medium_train_SIXray_OPIXray No objects detected Detection preview by DN_Medium_300_yolov8m_20t7_new No objects detected Detection preview by Segmentatation_v8_medium_train_250 No objects detected Detection preview by Segmentation_V11_large_300_train_300 No objects detected Detection preview by Segmentation_v8_large_300_train_300
Original Image: P08290.jpg
GT: pliers
pliers Detection preview by Box_v11_medium_train_SIXray_OPIXray No objects detected Detection preview by DN_Medium_300_yolov8m_20t7_new No objects detected Detection preview by Segmentatation_v8_medium_train_250 No objects detected Detection preview by Segmentation_V11_large_300_train_300 No objects detected Detection preview by Segmentation_v8_large_300_train_300
Original Image: P08291.jpg
GT: pliers
pliers Detection preview by Box_v11_medium_train_SIXray_OPIXray No objects detected Detection preview by DN_Medium_300_yolov8m_20t7_new No objects detected Detection preview by Segmentatation_v8_medium_train_250 No objects detected Detection preview by Segmentation_V11_large_300_train_300 No objects detected Detection preview by Segmentation_v8_large_300_train_300
Original Image: P08292.jpg
GT: pliers
pliers Detection preview by Box_v11_medium_train_SIXray_OPIXray No objects detected Detection preview by DN_Medium_300_yolov8m_20t7_new No objects detected Detection preview by Segmentatation_v8_medium_train_250 No objects detected Detection preview by Segmentation_V11_large_300_train_300 No objects detected Detection preview by Segmentation_v8_large_300_train_300
Original Image: P08293.jpg
GT: pliers
pliers Detection preview by Box_v11_medium_train_SIXray_OPIXray No objects detected Detection preview by DN_Medium_300_yolov8m_20t7_new No objects detected Detection preview by Segmentatation_v8_medium_train_250 No objects detected Detection preview by Segmentation_V11_large_300_train_300 No objects detected Detection preview by Segmentation_v8_large_300_train_300
Original Image: P08294.jpg
GT: pliers
pliers Detection preview by Box_v11_medium_train_SIXray_OPIXray No objects detected Detection preview by DN_Medium_300_yolov8m_20t7_new No objects detected Detection preview by Segmentatation_v8_medium_train_250 No objects detected Detection preview by Segmentation_V11_large_300_train_300 No objects detected Detection preview by Segmentation_v8_large_300_train_300
Original Image: P08295.jpg
GT: pliers
pliers Detection preview by Box_v11_medium_train_SIXray_OPIXray No objects detected Detection preview by DN_Medium_300_yolov8m_20t7_new No objects detected Detection preview by Segmentatation_v8_medium_train_250 No objects detected Detection preview by Segmentation_V11_large_300_train_300 No objects detected Detection preview by Segmentation_v8_large_300_train_300
Original Image: P08296.jpg
GT: pliers
pliers Detection preview by Box_v11_medium_train_SIXray_OPIXray No objects detected Detection preview by DN_Medium_300_yolov8m_20t7_new No objects detected Detection preview by Segmentatation_v8_medium_train_250 No objects detected Detection preview by Segmentation_V11_large_300_train_300 No objects detected Detection preview by Segmentation_v8_large_300_train_300
Original Image: P08297.jpg
GT: pliers
pliers Detection preview by Box_v11_medium_train_SIXray_OPIXray pliers Detection preview by DN_Medium_300_yolov8m_20t7_new No objects detected Detection preview by Segmentatation_v8_medium_train_250 No objects detected Detection preview by Segmentation_V11_large_300_train_300 No objects detected Detection preview by Segmentation_v8_large_300_train_300
Original Image: P08298.jpg
GT: pliers
pliers Detection preview by Box_v11_medium_train_SIXray_OPIXray No objects detected Detection preview by DN_Medium_300_yolov8m_20t7_new No objects detected Detection preview by Segmentatation_v8_medium_train_250 No objects detected Detection preview by Segmentation_V11_large_300_train_300 No objects detected Detection preview by Segmentation_v8_large_300_train_300
Original Image: P08299.jpg
GT: pliers
pliers Detection preview by Box_v11_medium_train_SIXray_OPIXray No objects detected Detection preview by DN_Medium_300_yolov8m_20t7_new No objects detected Detection preview by Segmentatation_v8_medium_train_250 No objects detected Detection preview by Segmentation_V11_large_300_train_300 No objects detected Detection preview by Segmentation_v8_large_300_train_300
Original Image: P08300.jpg
GT: pliers
pliers Detection preview by Box_v11_medium_train_SIXray_OPIXray pliers Detection preview by DN_Medium_300_yolov8m_20t7_new No objects detected Detection preview by Segmentatation_v8_medium_train_250 No objects detected Detection preview by Segmentation_V11_large_300_train_300 No objects detected Detection preview by Segmentation_v8_large_300_train_300
Original Image: P08301.jpg
GT: pliers
pliers Detection preview by Box_v11_medium_train_SIXray_OPIXray No objects detected Detection preview by DN_Medium_300_yolov8m_20t7_new No objects detected Detection preview by Segmentatation_v8_medium_train_250 No objects detected Detection preview by Segmentation_V11_large_300_train_300 No objects detected Detection preview by Segmentation_v8_large_300_train_300
Original Image: P08302.jpg
GT: pliers
pliers Detection preview by Box_v11_medium_train_SIXray_OPIXray pliers Detection preview by DN_Medium_300_yolov8m_20t7_new No objects detected Detection preview by Segmentatation_v8_medium_train_250 No objects detected Detection preview by Segmentation_V11_large_300_train_300 No objects detected Detection preview by Segmentation_v8_large_300_train_300
Original Image: P08303.jpg
GT: pliers
pliers Detection preview by Box_v11_medium_train_SIXray_OPIXray No objects detected Detection preview by DN_Medium_300_yolov8m_20t7_new No objects detected Detection preview by Segmentatation_v8_medium_train_250 No objects detected Detection preview by Segmentation_V11_large_300_train_300 No objects detected Detection preview by Segmentation_v8_large_300_train_300
Original Image: P08304.jpg
GT: pliers
pliers Detection preview by Box_v11_medium_train_SIXray_OPIXray No objects detected Detection preview by DN_Medium_300_yolov8m_20t7_new No objects detected Detection preview by Segmentatation_v8_medium_train_250 wrench Detection preview by Segmentation_V11_large_300_train_300 No objects detected Detection preview by Segmentation_v8_large_300_train_300
Original Image: P08305.jpg
GT: pliers
pliers Detection preview by Box_v11_medium_train_SIXray_OPIXray No objects detected Detection preview by DN_Medium_300_yolov8m_20t7_new No objects detected Detection preview by Segmentatation_v8_medium_train_250 No objects detected Detection preview by Segmentation_V11_large_300_train_300 No objects detected Detection preview by Segmentation_v8_large_300_train_300
Original Image: P08306.jpg
GT: pliers, wrench
pliers, wrench Detection preview by Box_v11_medium_train_SIXray_OPIXray pliers Detection preview by DN_Medium_300_yolov8m_20t7_new wrench Detection preview by Segmentatation_v8_medium_train_250 wrench Detection preview by Segmentation_V11_large_300_train_300 wrench Detection preview by Segmentation_v8_large_300_train_300
Original Image: P08307.jpg
GT: pliers, wrench
pliers, wrench Detection preview by Box_v11_medium_train_SIXray_OPIXray pliers Detection preview by DN_Medium_300_yolov8m_20t7_new wrench Detection preview by Segmentatation_v8_medium_train_250 wrench Detection preview by Segmentation_V11_large_300_train_300 wrench Detection preview by Segmentation_v8_large_300_train_300
Original Image: P08308.jpg
GT: pliers, wrench
pliers, wrench Detection preview by Box_v11_medium_train_SIXray_OPIXray pliers Detection preview by DN_Medium_300_yolov8m_20t7_new wrench Detection preview by Segmentatation_v8_medium_train_250 wrench Detection preview by Segmentation_V11_large_300_train_300 wrench Detection preview by Segmentation_v8_large_300_train_300
Original Image: P08309.jpg
GT: pliers, wrench
pliers, wrench Detection preview by Box_v11_medium_train_SIXray_OPIXray pliers Detection preview by DN_Medium_300_yolov8m_20t7_new wrench Detection preview by Segmentatation_v8_medium_train_250 wrench Detection preview by Segmentation_V11_large_300_train_300 wrench Detection preview by Segmentation_v8_large_300_train_300
Original Image: P08310.jpg
GT: pliers, wrench
pliers, wrench Detection preview by Box_v11_medium_train_SIXray_OPIXray No objects detected Detection preview by DN_Medium_300_yolov8m_20t7_new wrench Detection preview by Segmentatation_v8_medium_train_250 wrench Detection preview by Segmentation_V11_large_300_train_300 wrench Detection preview by Segmentation_v8_large_300_train_300
Original Image: P08311.jpg
GT: pliers, wrench
pliers, wrench Detection preview by Box_v11_medium_train_SIXray_OPIXray No objects detected Detection preview by DN_Medium_300_yolov8m_20t7_new wrench Detection preview by Segmentatation_v8_medium_train_250 wrench Detection preview by Segmentation_V11_large_300_train_300 wrench Detection preview by Segmentation_v8_large_300_train_300
Original Image: P08312.jpg
GT: pliers, wrench
pliers, wrench Detection preview by Box_v11_medium_train_SIXray_OPIXray No objects detected Detection preview by DN_Medium_300_yolov8m_20t7_new wrench Detection preview by Segmentatation_v8_medium_train_250 wrench Detection preview by Segmentation_V11_large_300_train_300 wrench Detection preview by Segmentation_v8_large_300_train_300
Original Image: P08313.jpg
GT: pliers
pliers Detection preview by Box_v11_medium_train_SIXray_OPIXray No objects detected Detection preview by DN_Medium_300_yolov8m_20t7_new No objects detected Detection preview by Segmentatation_v8_medium_train_250 No objects detected Detection preview by Segmentation_V11_large_300_train_300 No objects detected Detection preview by Segmentation_v8_large_300_train_300
Original Image: P08314.jpg
GT: pliers
pliers Detection preview by Box_v11_medium_train_SIXray_OPIXray No objects detected Detection preview by DN_Medium_300_yolov8m_20t7_new No objects detected Detection preview by Segmentatation_v8_medium_train_250 No objects detected Detection preview by Segmentation_V11_large_300_train_300 No objects detected Detection preview by Segmentation_v8_large_300_train_300
Original Image: P08315.jpg
GT: pliers
pliers Detection preview by Box_v11_medium_train_SIXray_OPIXray No objects detected Detection preview by DN_Medium_300_yolov8m_20t7_new No objects detected Detection preview by Segmentatation_v8_medium_train_250 No objects detected Detection preview by Segmentation_V11_large_300_train_300 No objects detected Detection preview by Segmentation_v8_large_300_train_300
Original Image: P08316.jpg
GT: pliers
pliers Detection preview by Box_v11_medium_train_SIXray_OPIXray No objects detected Detection preview by DN_Medium_300_yolov8m_20t7_new No objects detected Detection preview by Segmentatation_v8_medium_train_250 No objects detected Detection preview by Segmentation_V11_large_300_train_300 No objects detected Detection preview by Segmentation_v8_large_300_train_300
Original Image: P08317.jpg
GT: pliers, wrench
pliers, wrench Detection preview by Box_v11_medium_train_SIXray_OPIXray No objects detected Detection preview by DN_Medium_300_yolov8m_20t7_new wrench Detection preview by Segmentatation_v8_medium_train_250 No objects detected Detection preview by Segmentation_V11_large_300_train_300 No objects detected Detection preview by Segmentation_v8_large_300_train_300
Original Image: P08318.jpg
GT: pliers, wrench
pliers, wrench Detection preview by Box_v11_medium_train_SIXray_OPIXray No objects detected Detection preview by DN_Medium_300_yolov8m_20t7_new wrench Detection preview by Segmentatation_v8_medium_train_250 No objects detected Detection preview by Segmentation_V11_large_300_train_300 No objects detected Detection preview by Segmentation_v8_large_300_train_300
Original Image: P08319.jpg
GT: pliers, wrench
pliers, wrench Detection preview by Box_v11_medium_train_SIXray_OPIXray No objects detected Detection preview by DN_Medium_300_yolov8m_20t7_new No objects detected Detection preview by Segmentatation_v8_medium_train_250 No objects detected Detection preview by Segmentation_V11_large_300_train_300 No objects detected Detection preview by Segmentation_v8_large_300_train_300
Original Image: P08320.jpg
GT: pliers
pliers Detection preview by Box_v11_medium_train_SIXray_OPIXray No objects detected Detection preview by DN_Medium_300_yolov8m_20t7_new No objects detected Detection preview by Segmentatation_v8_medium_train_250 No objects detected Detection preview by Segmentation_V11_large_300_train_300 No objects detected Detection preview by Segmentation_v8_large_300_train_300
Original Image: P08321.jpg
GT: scissors
scissor Detection preview by Box_v11_medium_train_SIXray_OPIXray No objects detected Detection preview by DN_Medium_300_yolov8m_20t7_new scissor Detection preview by Segmentatation_v8_medium_train_250 scissor Detection preview by Segmentation_V11_large_300_train_300 scissor Detection preview by Segmentation_v8_large_300_train_300
Original Image: P08322.jpg
GT: pliers, wrench
pliers, wrench Detection preview by Box_v11_medium_train_SIXray_OPIXray No objects detected Detection preview by DN_Medium_300_yolov8m_20t7_new wrench Detection preview by Segmentatation_v8_medium_train_250 wrench Detection preview by Segmentation_V11_large_300_train_300 wrench Detection preview by Segmentation_v8_large_300_train_300
Original Image: P08323.jpg
GT: pliers, wrench
pliers, wrench Detection preview by Box_v11_medium_train_SIXray_OPIXray No objects detected Detection preview by DN_Medium_300_yolov8m_20t7_new wrench Detection preview by Segmentatation_v8_medium_train_250 wrench Detection preview by Segmentation_V11_large_300_train_300 wrench Detection preview by Segmentation_v8_large_300_train_300
Original Image: P08324.jpg
GT: pliers
pliers Detection preview by Box_v11_medium_train_SIXray_OPIXray No objects detected Detection preview by DN_Medium_300_yolov8m_20t7_new No objects detected Detection preview by Segmentatation_v8_medium_train_250 No objects detected Detection preview by Segmentation_V11_large_300_train_300 No objects detected Detection preview by Segmentation_v8_large_300_train_300
Original Image: P08325.jpg
GT: pliers
pliers Detection preview by Box_v11_medium_train_SIXray_OPIXray No objects detected Detection preview by DN_Medium_300_yolov8m_20t7_new No objects detected Detection preview by Segmentatation_v8_medium_train_250 No objects detected Detection preview by Segmentation_V11_large_300_train_300 No objects detected Detection preview by Segmentation_v8_large_300_train_300
Original Image: P08326.jpg
GT: pliers
pliers Detection preview by Box_v11_medium_train_SIXray_OPIXray No objects detected Detection preview by DN_Medium_300_yolov8m_20t7_new No objects detected Detection preview by Segmentatation_v8_medium_train_250 No objects detected Detection preview by Segmentation_V11_large_300_train_300 No objects detected Detection preview by Segmentation_v8_large_300_train_300
Original Image: P08327.jpg
GT: pliers
pliers Detection preview by Box_v11_medium_train_SIXray_OPIXray No objects detected Detection preview by DN_Medium_300_yolov8m_20t7_new No objects detected Detection preview by Segmentatation_v8_medium_train_250 No objects detected Detection preview by Segmentation_V11_large_300_train_300 No objects detected Detection preview by Segmentation_v8_large_300_train_300
Original Image: P08328.jpg
GT: wrench
wrench Detection preview by Box_v11_medium_train_SIXray_OPIXray No objects detected Detection preview by DN_Medium_300_yolov8m_20t7_new wrench Detection preview by Segmentatation_v8_medium_train_250 wrench Detection preview by Segmentation_V11_large_300_train_300 wrench Detection preview by Segmentation_v8_large_300_train_300
Original Image: P08329.jpg
GT: pliers
pliers Detection preview by Box_v11_medium_train_SIXray_OPIXray No objects detected Detection preview by DN_Medium_300_yolov8m_20t7_new No objects detected Detection preview by Segmentatation_v8_medium_train_250 No objects detected Detection preview by Segmentation_V11_large_300_train_300 No objects detected Detection preview by Segmentation_v8_large_300_train_300
Original Image: P08330.jpg
GT: pliers
pliers Detection preview by Box_v11_medium_train_SIXray_OPIXray No objects detected Detection preview by DN_Medium_300_yolov8m_20t7_new No objects detected Detection preview by Segmentatation_v8_medium_train_250 No objects detected Detection preview by Segmentation_V11_large_300_train_300 No objects detected Detection preview by Segmentation_v8_large_300_train_300
Original Image: P08331.jpg
GT: pliers
pliers Detection preview by Box_v11_medium_train_SIXray_OPIXray No objects detected Detection preview by DN_Medium_300_yolov8m_20t7_new No objects detected Detection preview by Segmentatation_v8_medium_train_250 No objects detected Detection preview by Segmentation_V11_large_300_train_300 No objects detected Detection preview by Segmentation_v8_large_300_train_300
Original Image: P08332.jpg
GT: pliers
pliers Detection preview by Box_v11_medium_train_SIXray_OPIXray No objects detected Detection preview by DN_Medium_300_yolov8m_20t7_new No objects detected Detection preview by Segmentatation_v8_medium_train_250 No objects detected Detection preview by Segmentation_V11_large_300_train_300 No objects detected Detection preview by Segmentation_v8_large_300_train_300
Original Image: P08333.jpg
GT: pliers
pliers Detection preview by Box_v11_medium_train_SIXray_OPIXray No objects detected Detection preview by DN_Medium_300_yolov8m_20t7_new No objects detected Detection preview by Segmentatation_v8_medium_train_250 No objects detected Detection preview by Segmentation_V11_large_300_train_300 No objects detected Detection preview by Segmentation_v8_large_300_train_300
Original Image: P08334.jpg
GT: scissors
scissor Detection preview by Box_v11_medium_train_SIXray_OPIXray scissor Detection preview by DN_Medium_300_yolov8m_20t7_new scissor Detection preview by Segmentatation_v8_medium_train_250 scissor Detection preview by Segmentation_V11_large_300_train_300 scissor Detection preview by Segmentation_v8_large_300_train_300
Original Image: P08335.jpg
GT: scissors
scissor Detection preview by Box_v11_medium_train_SIXray_OPIXray scissor Detection preview by DN_Medium_300_yolov8m_20t7_new scissor Detection preview by Segmentatation_v8_medium_train_250 scissor Detection preview by Segmentation_V11_large_300_train_300 scissor Detection preview by Segmentation_v8_large_300_train_300
Original Image: P08336.jpg
GT: scissors
scissor Detection preview by Box_v11_medium_train_SIXray_OPIXray No objects detected Detection preview by DN_Medium_300_yolov8m_20t7_new scissor Detection preview by Segmentatation_v8_medium_train_250 scissor Detection preview by Segmentation_V11_large_300_train_300 scissor Detection preview by Segmentation_v8_large_300_train_300
Original Image: P08337.jpg
GT: scissors
scissor Detection preview by Box_v11_medium_train_SIXray_OPIXray scissor Detection preview by DN_Medium_300_yolov8m_20t7_new scissor Detection preview by Segmentatation_v8_medium_train_250 scissor Detection preview by Segmentation_V11_large_300_train_300 scissor Detection preview by Segmentation_v8_large_300_train_300
Original Image: P08338.jpg
GT: scissors
scissor Detection preview by Box_v11_medium_train_SIXray_OPIXray scissor Detection preview by DN_Medium_300_yolov8m_20t7_new scissor Detection preview by Segmentatation_v8_medium_train_250 scissor Detection preview by Segmentation_V11_large_300_train_300 scissor Detection preview by Segmentation_v8_large_300_train_300
Original Image: P08339.jpg
GT: scissors
scissor Detection preview by Box_v11_medium_train_SIXray_OPIXray No objects detected Detection preview by DN_Medium_300_yolov8m_20t7_new scissor Detection preview by Segmentatation_v8_medium_train_250 scissor Detection preview by Segmentation_V11_large_300_train_300 scissor Detection preview by Segmentation_v8_large_300_train_300
Original Image: P08340.jpg
GT: scissors
scissor Detection preview by Box_v11_medium_train_SIXray_OPIXray No objects detected Detection preview by DN_Medium_300_yolov8m_20t7_new scissor Detection preview by Segmentatation_v8_medium_train_250 scissor Detection preview by Segmentation_V11_large_300_train_300 scissor Detection preview by Segmentation_v8_large_300_train_300
Original Image: P08341.jpg
GT: None
No objects detected Detection preview by Box_v11_medium_train_SIXray_OPIXray No objects detected Detection preview by DN_Medium_300_yolov8m_20t7_new No objects detected Detection preview by Segmentatation_v8_medium_train_250 No objects detected Detection preview by Segmentation_V11_large_300_train_300 No objects detected Detection preview by Segmentation_v8_large_300_train_300
Original Image: P08342.jpg
GT: None
No objects detected Detection preview by Box_v11_medium_train_SIXray_OPIXray No objects detected Detection preview by DN_Medium_300_yolov8m_20t7_new No objects detected Detection preview by Segmentatation_v8_medium_train_250 No objects detected Detection preview by Segmentation_V11_large_300_train_300 No objects detected Detection preview by Segmentation_v8_large_300_train_300
Original Image: P08343.jpg
GT: scissors
scissor Detection preview by Box_v11_medium_train_SIXray_OPIXray No objects detected Detection preview by DN_Medium_300_yolov8m_20t7_new scissor Detection preview by Segmentatation_v8_medium_train_250 scissor Detection preview by Segmentation_V11_large_300_train_300 scissor Detection preview by Segmentation_v8_large_300_train_300
Original Image: P08344.jpg
GT: pliers
pliers Detection preview by Box_v11_medium_train_SIXray_OPIXray pliers Detection preview by DN_Medium_300_yolov8m_20t7_new No objects detected Detection preview by Segmentatation_v8_medium_train_250 No objects detected Detection preview by Segmentation_V11_large_300_train_300 No objects detected Detection preview by Segmentation_v8_large_300_train_300
Original Image: P08345.jpg
GT: pliers
pliers Detection preview by Box_v11_medium_train_SIXray_OPIXray pliers Detection preview by DN_Medium_300_yolov8m_20t7_new No objects detected Detection preview by Segmentatation_v8_medium_train_250 No objects detected Detection preview by Segmentation_V11_large_300_train_300 No objects detected Detection preview by Segmentation_v8_large_300_train_300
Original Image: P08346.jpg
GT: pliers
pliers Detection preview by Box_v11_medium_train_SIXray_OPIXray pliers Detection preview by DN_Medium_300_yolov8m_20t7_new No objects detected Detection preview by Segmentatation_v8_medium_train_250 No objects detected Detection preview by Segmentation_V11_large_300_train_300 No objects detected Detection preview by Segmentation_v8_large_300_train_300
Original Image: P08347.jpg
GT: wrench
wrench Detection preview by Box_v11_medium_train_SIXray_OPIXray No objects detected Detection preview by DN_Medium_300_yolov8m_20t7_new wrench Detection preview by Segmentatation_v8_medium_train_250 wrench Detection preview by Segmentation_V11_large_300_train_300 wrench Detection preview by Segmentation_v8_large_300_train_300
Original Image: P08348.jpg
GT: scissors
scissor Detection preview by Box_v11_medium_train_SIXray_OPIXray No objects detected Detection preview by DN_Medium_300_yolov8m_20t7_new scissor Detection preview by Segmentatation_v8_medium_train_250 scissor Detection preview by Segmentation_V11_large_300_train_300 scissor Detection preview by Segmentation_v8_large_300_train_300
Original Image: P08349.jpg
GT: scissors
scissor Detection preview by Box_v11_medium_train_SIXray_OPIXray No objects detected Detection preview by DN_Medium_300_yolov8m_20t7_new scissor Detection preview by Segmentatation_v8_medium_train_250 scissor Detection preview by Segmentation_V11_large_300_train_300 scissor Detection preview by Segmentation_v8_large_300_train_300
Original Image: P08350.jpg
GT: scissors
scissor Detection preview by Box_v11_medium_train_SIXray_OPIXray No objects detected Detection preview by DN_Medium_300_yolov8m_20t7_new scissor Detection preview by Segmentatation_v8_medium_train_250 scissor Detection preview by Segmentation_V11_large_300_train_300 scissor Detection preview by Segmentation_v8_large_300_train_300
Original Image: P08351.jpg
GT: scissors
scissor Detection preview by Box_v11_medium_train_SIXray_OPIXray No objects detected Detection preview by DN_Medium_300_yolov8m_20t7_new scissor Detection preview by Segmentatation_v8_medium_train_250 scissor Detection preview by Segmentation_V11_large_300_train_300 scissor Detection preview by Segmentation_v8_large_300_train_300
Original Image: P08352.jpg
GT: scissors
scissor Detection preview by Box_v11_medium_train_SIXray_OPIXray No objects detected Detection preview by DN_Medium_300_yolov8m_20t7_new scissor Detection preview by Segmentatation_v8_medium_train_250 scissor Detection preview by Segmentation_V11_large_300_train_300 scissor Detection preview by Segmentation_v8_large_300_train_300
Original Image: P08353.jpg
GT: scissors
scissor Detection preview by Box_v11_medium_train_SIXray_OPIXray No objects detected Detection preview by DN_Medium_300_yolov8m_20t7_new scissor Detection preview by Segmentatation_v8_medium_train_250 scissor Detection preview by Segmentation_V11_large_300_train_300 scissor Detection preview by Segmentation_v8_large_300_train_300
Original Image: P08354.jpg
GT: wrench
wrench Detection preview by Box_v11_medium_train_SIXray_OPIXray No objects detected Detection preview by DN_Medium_300_yolov8m_20t7_new wrench Detection preview by Segmentatation_v8_medium_train_250 wrench Detection preview by Segmentation_V11_large_300_train_300 wrench Detection preview by Segmentation_v8_large_300_train_300
Original Image: P08355.jpg
GT: wrench
wrench Detection preview by Box_v11_medium_train_SIXray_OPIXray No objects detected Detection preview by DN_Medium_300_yolov8m_20t7_new wrench Detection preview by Segmentatation_v8_medium_train_250 wrench Detection preview by Segmentation_V11_large_300_train_300 wrench Detection preview by Segmentation_v8_large_300_train_300
Original Image: P08356.jpg
GT: wrench
wrench Detection preview by Box_v11_medium_train_SIXray_OPIXray No objects detected Detection preview by DN_Medium_300_yolov8m_20t7_new wrench Detection preview by Segmentatation_v8_medium_train_250 wrench Detection preview by Segmentation_V11_large_300_train_300 wrench Detection preview by Segmentation_v8_large_300_train_300
Original Image: P08357.jpg
GT: wrench
wrench Detection preview by Box_v11_medium_train_SIXray_OPIXray No objects detected Detection preview by DN_Medium_300_yolov8m_20t7_new wrench Detection preview by Segmentatation_v8_medium_train_250 wrench Detection preview by Segmentation_V11_large_300_train_300 wrench Detection preview by Segmentation_v8_large_300_train_300
Original Image: P08358.jpg
GT: wrench
wrench Detection preview by Box_v11_medium_train_SIXray_OPIXray No objects detected Detection preview by DN_Medium_300_yolov8m_20t7_new wrench Detection preview by Segmentatation_v8_medium_train_250 wrench Detection preview by Segmentation_V11_large_300_train_300 wrench Detection preview by Segmentation_v8_large_300_train_300
Original Image: P08359.jpg
GT: wrench
wrench Detection preview by Box_v11_medium_train_SIXray_OPIXray No objects detected Detection preview by DN_Medium_300_yolov8m_20t7_new wrench Detection preview by Segmentatation_v8_medium_train_250 wrench Detection preview by Segmentation_V11_large_300_train_300 wrench Detection preview by Segmentation_v8_large_300_train_300
Original Image: P08360.jpg
GT: wrench
wrench Detection preview by Box_v11_medium_train_SIXray_OPIXray No objects detected Detection preview by DN_Medium_300_yolov8m_20t7_new wrench Detection preview by Segmentatation_v8_medium_train_250 wrench Detection preview by Segmentation_V11_large_300_train_300 wrench Detection preview by Segmentation_v8_large_300_train_300
Original Image: P08361.jpg
GT: pliers
pliers Detection preview by Box_v11_medium_train_SIXray_OPIXray No objects detected Detection preview by DN_Medium_300_yolov8m_20t7_new No objects detected Detection preview by Segmentatation_v8_medium_train_250 No objects detected Detection preview by Segmentation_V11_large_300_train_300 No objects detected Detection preview by Segmentation_v8_large_300_train_300
Original Image: P08362.jpg
GT: pliers
pliers Detection preview by Box_v11_medium_train_SIXray_OPIXray No objects detected Detection preview by DN_Medium_300_yolov8m_20t7_new No objects detected Detection preview by Segmentatation_v8_medium_train_250 No objects detected Detection preview by Segmentation_V11_large_300_train_300 No objects detected Detection preview by Segmentation_v8_large_300_train_300
Original Image: P08363.jpg
GT: pliers, wrench
pliers, wrench Detection preview by Box_v11_medium_train_SIXray_OPIXray No objects detected Detection preview by DN_Medium_300_yolov8m_20t7_new wrench Detection preview by Segmentatation_v8_medium_train_250 wrench Detection preview by Segmentation_V11_large_300_train_300 wrench Detection preview by Segmentation_v8_large_300_train_300
Original Image: P08364.jpg
GT: pliers, wrench
pliers, wrench Detection preview by Box_v11_medium_train_SIXray_OPIXray No objects detected Detection preview by DN_Medium_300_yolov8m_20t7_new scissor, wrench Detection preview by Segmentatation_v8_medium_train_250 scissor, wrench Detection preview by Segmentation_V11_large_300_train_300 wrench Detection preview by Segmentation_v8_large_300_train_300
Original Image: P08365.jpg
GT: pliers, wrench
pliers, wrench Detection preview by Box_v11_medium_train_SIXray_OPIXray No objects detected Detection preview by DN_Medium_300_yolov8m_20t7_new scissor, wrench Detection preview by Segmentatation_v8_medium_train_250 scissor, wrench Detection preview by Segmentation_V11_large_300_train_300 wrench Detection preview by Segmentation_v8_large_300_train_300
Original Image: P08366.jpg
GT: pliers, wrench
pliers, wrench Detection preview by Box_v11_medium_train_SIXray_OPIXray No objects detected Detection preview by DN_Medium_300_yolov8m_20t7_new scissor, wrench Detection preview by Segmentatation_v8_medium_train_250 scissor, wrench Detection preview by Segmentation_V11_large_300_train_300 wrench Detection preview by Segmentation_v8_large_300_train_300
Original Image: P08367.jpg
GT: pliers
pliers Detection preview by Box_v11_medium_train_SIXray_OPIXray pliers Detection preview by DN_Medium_300_yolov8m_20t7_new No objects detected Detection preview by Segmentatation_v8_medium_train_250 No objects detected Detection preview by Segmentation_V11_large_300_train_300 No objects detected Detection preview by Segmentation_v8_large_300_train_300
Original Image: P08368.jpg
GT: pliers
pliers Detection preview by Box_v11_medium_train_SIXray_OPIXray pliers Detection preview by DN_Medium_300_yolov8m_20t7_new No objects detected Detection preview by Segmentatation_v8_medium_train_250 No objects detected Detection preview by Segmentation_V11_large_300_train_300 No objects detected Detection preview by Segmentation_v8_large_300_train_300
Original Image: P08369.jpg
GT: pliers
pliers Detection preview by Box_v11_medium_train_SIXray_OPIXray No objects detected Detection preview by DN_Medium_300_yolov8m_20t7_new No objects detected Detection preview by Segmentatation_v8_medium_train_250 No objects detected Detection preview by Segmentation_V11_large_300_train_300 No objects detected Detection preview by Segmentation_v8_large_300_train_300
Original Image: P08370.jpg
GT: pliers
pliers Detection preview by Box_v11_medium_train_SIXray_OPIXray No objects detected Detection preview by DN_Medium_300_yolov8m_20t7_new No objects detected Detection preview by Segmentatation_v8_medium_train_250 No objects detected Detection preview by Segmentation_V11_large_300_train_300 No objects detected Detection preview by Segmentation_v8_large_300_train_300
Original Image: P08371.jpg
GT: pliers
pliers Detection preview by Box_v11_medium_train_SIXray_OPIXray No objects detected Detection preview by DN_Medium_300_yolov8m_20t7_new No objects detected Detection preview by Segmentatation_v8_medium_train_250 No objects detected Detection preview by Segmentation_V11_large_300_train_300 No objects detected Detection preview by Segmentation_v8_large_300_train_300
Original Image: P08372.jpg
GT: pliers
pliers Detection preview by Box_v11_medium_train_SIXray_OPIXray No objects detected Detection preview by DN_Medium_300_yolov8m_20t7_new No objects detected Detection preview by Segmentatation_v8_medium_train_250 No objects detected Detection preview by Segmentation_V11_large_300_train_300 No objects detected Detection preview by Segmentation_v8_large_300_train_300
Original Image: P08373.jpg
GT: pliers
pliers Detection preview by Box_v11_medium_train_SIXray_OPIXray No objects detected Detection preview by DN_Medium_300_yolov8m_20t7_new No objects detected Detection preview by Segmentatation_v8_medium_train_250 No objects detected Detection preview by Segmentation_V11_large_300_train_300 No objects detected Detection preview by Segmentation_v8_large_300_train_300
Original Image: P08374.jpg
GT: pliers
pliers Detection preview by Box_v11_medium_train_SIXray_OPIXray No objects detected Detection preview by DN_Medium_300_yolov8m_20t7_new No objects detected Detection preview by Segmentatation_v8_medium_train_250 No objects detected Detection preview by Segmentation_V11_large_300_train_300 No objects detected Detection preview by Segmentation_v8_large_300_train_300
Original Image: P08375.jpg
GT: pliers
pliers Detection preview by Box_v11_medium_train_SIXray_OPIXray No objects detected Detection preview by DN_Medium_300_yolov8m_20t7_new No objects detected Detection preview by Segmentatation_v8_medium_train_250 No objects detected Detection preview by Segmentation_V11_large_300_train_300 No objects detected Detection preview by Segmentation_v8_large_300_train_300
Original Image: P08376.jpg
GT: pliers
pliers Detection preview by Box_v11_medium_train_SIXray_OPIXray No objects detected Detection preview by DN_Medium_300_yolov8m_20t7_new No objects detected Detection preview by Segmentatation_v8_medium_train_250 No objects detected Detection preview by Segmentation_V11_large_300_train_300 No objects detected Detection preview by Segmentation_v8_large_300_train_300
Original Image: P08377.jpg
GT: pliers
pliers Detection preview by Box_v11_medium_train_SIXray_OPIXray No objects detected Detection preview by DN_Medium_300_yolov8m_20t7_new No objects detected Detection preview by Segmentatation_v8_medium_train_250 No objects detected Detection preview by Segmentation_V11_large_300_train_300 No objects detected Detection preview by Segmentation_v8_large_300_train_300
Original Image: P08378.jpg
GT: pliers, wrench
pliers, wrench Detection preview by Box_v11_medium_train_SIXray_OPIXray No objects detected Detection preview by DN_Medium_300_yolov8m_20t7_new wrench Detection preview by Segmentatation_v8_medium_train_250 wrench Detection preview by Segmentation_V11_large_300_train_300 wrench Detection preview by Segmentation_v8_large_300_train_300
Original Image: P08379.jpg
GT: pliers, wrench
pliers, wrench Detection preview by Box_v11_medium_train_SIXray_OPIXray No objects detected Detection preview by DN_Medium_300_yolov8m_20t7_new wrench Detection preview by Segmentatation_v8_medium_train_250 wrench Detection preview by Segmentation_V11_large_300_train_300 wrench Detection preview by Segmentation_v8_large_300_train_300
Original Image: P08380.jpg
GT: pliers, wrench
pliers, wrench Detection preview by Box_v11_medium_train_SIXray_OPIXray No objects detected Detection preview by DN_Medium_300_yolov8m_20t7_new wrench Detection preview by Segmentatation_v8_medium_train_250 wrench Detection preview by Segmentation_V11_large_300_train_300 wrench Detection preview by Segmentation_v8_large_300_train_300
Original Image: P08381.jpg
GT: pliers
pliers Detection preview by Box_v11_medium_train_SIXray_OPIXray No objects detected Detection preview by DN_Medium_300_yolov8m_20t7_new No objects detected Detection preview by Segmentatation_v8_medium_train_250 No objects detected Detection preview by Segmentation_V11_large_300_train_300 No objects detected Detection preview by Segmentation_v8_large_300_train_300
Original Image: P08382.jpg
GT: pliers
pliers Detection preview by Box_v11_medium_train_SIXray_OPIXray No objects detected Detection preview by DN_Medium_300_yolov8m_20t7_new No objects detected Detection preview by Segmentatation_v8_medium_train_250 No objects detected Detection preview by Segmentation_V11_large_300_train_300 No objects detected Detection preview by Segmentation_v8_large_300_train_300
Original Image: P08383.jpg
GT: pliers
pliers Detection preview by Box_v11_medium_train_SIXray_OPIXray No objects detected Detection preview by DN_Medium_300_yolov8m_20t7_new No objects detected Detection preview by Segmentatation_v8_medium_train_250 No objects detected Detection preview by Segmentation_V11_large_300_train_300 No objects detected Detection preview by Segmentation_v8_large_300_train_300
Original Image: P08384.jpg
GT: scissors
scissor Detection preview by Box_v11_medium_train_SIXray_OPIXray No objects detected Detection preview by DN_Medium_300_yolov8m_20t7_new scissor Detection preview by Segmentatation_v8_medium_train_250 scissor Detection preview by Segmentation_V11_large_300_train_300 scissor Detection preview by Segmentation_v8_large_300_train_300
Original Image: P08385.jpg
GT: scissors
scissor Detection preview by Box_v11_medium_train_SIXray_OPIXray No objects detected Detection preview by DN_Medium_300_yolov8m_20t7_new scissor Detection preview by Segmentatation_v8_medium_train_250 scissor Detection preview by Segmentation_V11_large_300_train_300 scissor Detection preview by Segmentation_v8_large_300_train_300
Original Image: P08386.jpg
GT: scissors
scissor Detection preview by Box_v11_medium_train_SIXray_OPIXray No objects detected Detection preview by DN_Medium_300_yolov8m_20t7_new scissor Detection preview by Segmentatation_v8_medium_train_250 scissor Detection preview by Segmentation_V11_large_300_train_300 scissor Detection preview by Segmentation_v8_large_300_train_300
Original Image: P08387.jpg
GT: scissors
scissor Detection preview by Box_v11_medium_train_SIXray_OPIXray scissor Detection preview by DN_Medium_300_yolov8m_20t7_new scissor Detection preview by Segmentatation_v8_medium_train_250 scissor Detection preview by Segmentation_V11_large_300_train_300 scissor Detection preview by Segmentation_v8_large_300_train_300
Original Image: P08388.jpg
GT: scissors
scissor Detection preview by Box_v11_medium_train_SIXray_OPIXray scissor Detection preview by DN_Medium_300_yolov8m_20t7_new scissor Detection preview by Segmentatation_v8_medium_train_250 scissor Detection preview by Segmentation_V11_large_300_train_300 scissor Detection preview by Segmentation_v8_large_300_train_300
Original Image: P08389.jpg
GT: scissors
scissor Detection preview by Box_v11_medium_train_SIXray_OPIXray scissor Detection preview by DN_Medium_300_yolov8m_20t7_new scissor Detection preview by Segmentatation_v8_medium_train_250 scissor Detection preview by Segmentation_V11_large_300_train_300 scissor Detection preview by Segmentation_v8_large_300_train_300
Original Image: P08390.jpg
GT: scissors
scissor Detection preview by Box_v11_medium_train_SIXray_OPIXray No objects detected Detection preview by DN_Medium_300_yolov8m_20t7_new scissor Detection preview by Segmentatation_v8_medium_train_250 scissor Detection preview by Segmentation_V11_large_300_train_300 scissor Detection preview by Segmentation_v8_large_300_train_300
Original Image: P08391.jpg
GT: pliers, scissors
pliers, scissor Detection preview by Box_v11_medium_train_SIXray_OPIXray No objects detected Detection preview by DN_Medium_300_yolov8m_20t7_new scissor Detection preview by Segmentatation_v8_medium_train_250 scissor Detection preview by Segmentation_V11_large_300_train_300 scissor Detection preview by Segmentation_v8_large_300_train_300
Original Image: P08392.jpg
GT: pliers, scissors
pliers, scissor Detection preview by Box_v11_medium_train_SIXray_OPIXray No objects detected Detection preview by DN_Medium_300_yolov8m_20t7_new scissor Detection preview by Segmentatation_v8_medium_train_250 scissor Detection preview by Segmentation_V11_large_300_train_300 scissor Detection preview by Segmentation_v8_large_300_train_300
Original Image: P08393.jpg
GT: pliers
pliers Detection preview by Box_v11_medium_train_SIXray_OPIXray pliers Detection preview by DN_Medium_300_yolov8m_20t7_new No objects detected Detection preview by Segmentatation_v8_medium_train_250 No objects detected Detection preview by Segmentation_V11_large_300_train_300 No objects detected Detection preview by Segmentation_v8_large_300_train_300
Original Image: P08394.jpg
GT: pliers
pliers Detection preview by Box_v11_medium_train_SIXray_OPIXray pliers Detection preview by DN_Medium_300_yolov8m_20t7_new No objects detected Detection preview by Segmentatation_v8_medium_train_250 No objects detected Detection preview by Segmentation_V11_large_300_train_300 No objects detected Detection preview by Segmentation_v8_large_300_train_300
Original Image: P08395.jpg
GT: pliers
pliers Detection preview by Box_v11_medium_train_SIXray_OPIXray pliers Detection preview by DN_Medium_300_yolov8m_20t7_new No objects detected Detection preview by Segmentatation_v8_medium_train_250 No objects detected Detection preview by Segmentation_V11_large_300_train_300 No objects detected Detection preview by Segmentation_v8_large_300_train_300
Original Image: P08396.jpg
GT: knife, pliers, wrench
knife, pliers, wrench Detection preview by Box_v11_medium_train_SIXray_OPIXray pliers Detection preview by DN_Medium_300_yolov8m_20t7_new knife, wrench Detection preview by Segmentatation_v8_medium_train_250 knife, wrench Detection preview by Segmentation_V11_large_300_train_300 knife, wrench Detection preview by Segmentation_v8_large_300_train_300
Original Image: P08397.jpg
GT: scissors
scissor Detection preview by Box_v11_medium_train_SIXray_OPIXray No objects detected Detection preview by DN_Medium_300_yolov8m_20t7_new scissor Detection preview by Segmentatation_v8_medium_train_250 scissor Detection preview by Segmentation_V11_large_300_train_300 scissor Detection preview by Segmentation_v8_large_300_train_300
Original Image: P08398.jpg
GT: knife
knife Detection preview by Box_v11_medium_train_SIXray_OPIXray No objects detected Detection preview by DN_Medium_300_yolov8m_20t7_new scissor Detection preview by Segmentatation_v8_medium_train_250 scissor Detection preview by Segmentation_V11_large_300_train_300 scissor Detection preview by Segmentation_v8_large_300_train_300
Original Image: P08399.jpg
GT: knife
knife Detection preview by Box_v11_medium_train_SIXray_OPIXray No objects detected Detection preview by DN_Medium_300_yolov8m_20t7_new scissor Detection preview by Segmentatation_v8_medium_train_250 scissor Detection preview by Segmentation_V11_large_300_train_300 scissor Detection preview by Segmentation_v8_large_300_train_300
Original Image: P08400.jpg
GT: scissors
scissor Detection preview by Box_v11_medium_train_SIXray_OPIXray No objects detected Detection preview by DN_Medium_300_yolov8m_20t7_new scissor Detection preview by Segmentatation_v8_medium_train_250 scissor Detection preview by Segmentation_V11_large_300_train_300 scissor Detection preview by Segmentation_v8_large_300_train_300
Original Image: P08401.jpg
GT: pliers
pliers Detection preview by Box_v11_medium_train_SIXray_OPIXray No objects detected Detection preview by DN_Medium_300_yolov8m_20t7_new No objects detected Detection preview by Segmentatation_v8_medium_train_250 No objects detected Detection preview by Segmentation_V11_large_300_train_300 No objects detected Detection preview by Segmentation_v8_large_300_train_300
Original Image: P08402.jpg
GT: pliers
pliers Detection preview by Box_v11_medium_train_SIXray_OPIXray No objects detected Detection preview by DN_Medium_300_yolov8m_20t7_new No objects detected Detection preview by Segmentatation_v8_medium_train_250 No objects detected Detection preview by Segmentation_V11_large_300_train_300 No objects detected Detection preview by Segmentation_v8_large_300_train_300
Original Image: P08403.jpg
GT: scissors
scissor Detection preview by Box_v11_medium_train_SIXray_OPIXray No objects detected Detection preview by DN_Medium_300_yolov8m_20t7_new scissor Detection preview by Segmentatation_v8_medium_train_250 scissor Detection preview by Segmentation_V11_large_300_train_300 scissor Detection preview by Segmentation_v8_large_300_train_300
Original Image: P08404.jpg
GT: scissors
scissor Detection preview by Box_v11_medium_train_SIXray_OPIXray No objects detected Detection preview by DN_Medium_300_yolov8m_20t7_new scissor Detection preview by Segmentatation_v8_medium_train_250 scissor Detection preview by Segmentation_V11_large_300_train_300 scissor Detection preview by Segmentation_v8_large_300_train_300
Original Image: P08405.jpg
GT: scissors
scissor Detection preview by Box_v11_medium_train_SIXray_OPIXray No objects detected Detection preview by DN_Medium_300_yolov8m_20t7_new scissor Detection preview by Segmentatation_v8_medium_train_250 scissor Detection preview by Segmentation_V11_large_300_train_300 scissor Detection preview by Segmentation_v8_large_300_train_300
Original Image: P08406.jpg
GT: pliers
pliers Detection preview by Box_v11_medium_train_SIXray_OPIXray No objects detected Detection preview by DN_Medium_300_yolov8m_20t7_new No objects detected Detection preview by Segmentatation_v8_medium_train_250 wrench Detection preview by Segmentation_V11_large_300_train_300 No objects detected Detection preview by Segmentation_v8_large_300_train_300
Original Image: P08407.jpg
GT: pliers
pliers Detection preview by Box_v11_medium_train_SIXray_OPIXray No objects detected Detection preview by DN_Medium_300_yolov8m_20t7_new No objects detected Detection preview by Segmentatation_v8_medium_train_250 No objects detected Detection preview by Segmentation_V11_large_300_train_300 No objects detected Detection preview by Segmentation_v8_large_300_train_300
Original Image: P08408.jpg
GT: pliers
pliers Detection preview by Box_v11_medium_train_SIXray_OPIXray No objects detected Detection preview by DN_Medium_300_yolov8m_20t7_new No objects detected Detection preview by Segmentatation_v8_medium_train_250 No objects detected Detection preview by Segmentation_V11_large_300_train_300 No objects detected Detection preview by Segmentation_v8_large_300_train_300
Original Image: P08409.jpg
GT: pliers, wrench
pliers, wrench Detection preview by Box_v11_medium_train_SIXray_OPIXray No objects detected Detection preview by DN_Medium_300_yolov8m_20t7_new wrench Detection preview by Segmentatation_v8_medium_train_250 wrench Detection preview by Segmentation_V11_large_300_train_300 wrench Detection preview by Segmentation_v8_large_300_train_300
Original Image: P08410.jpg
GT: pliers
pliers Detection preview by Box_v11_medium_train_SIXray_OPIXray No objects detected Detection preview by DN_Medium_300_yolov8m_20t7_new No objects detected Detection preview by Segmentatation_v8_medium_train_250 No objects detected Detection preview by Segmentation_V11_large_300_train_300 No objects detected Detection preview by Segmentation_v8_large_300_train_300
Original Image: P08411.jpg
GT: pliers
pliers Detection preview by Box_v11_medium_train_SIXray_OPIXray No objects detected Detection preview by DN_Medium_300_yolov8m_20t7_new No objects detected Detection preview by Segmentatation_v8_medium_train_250 No objects detected Detection preview by Segmentation_V11_large_300_train_300 No objects detected Detection preview by Segmentation_v8_large_300_train_300
Original Image: P08412.jpg
GT: pliers
pliers Detection preview by Box_v11_medium_train_SIXray_OPIXray No objects detected Detection preview by DN_Medium_300_yolov8m_20t7_new No objects detected Detection preview by Segmentatation_v8_medium_train_250 No objects detected Detection preview by Segmentation_V11_large_300_train_300 No objects detected Detection preview by Segmentation_v8_large_300_train_300
Original Image: P08413.jpg
GT: pliers
pliers Detection preview by Box_v11_medium_train_SIXray_OPIXray No objects detected Detection preview by DN_Medium_300_yolov8m_20t7_new No objects detected Detection preview by Segmentatation_v8_medium_train_250 No objects detected Detection preview by Segmentation_V11_large_300_train_300 No objects detected Detection preview by Segmentation_v8_large_300_train_300
Original Image: P08414.jpg
GT: pliers
pliers Detection preview by Box_v11_medium_train_SIXray_OPIXray No objects detected Detection preview by DN_Medium_300_yolov8m_20t7_new No objects detected Detection preview by Segmentatation_v8_medium_train_250 No objects detected Detection preview by Segmentation_V11_large_300_train_300 No objects detected Detection preview by Segmentation_v8_large_300_train_300
Original Image: P08415.jpg
GT: pliers
pliers Detection preview by Box_v11_medium_train_SIXray_OPIXray No objects detected Detection preview by DN_Medium_300_yolov8m_20t7_new No objects detected Detection preview by Segmentatation_v8_medium_train_250 No objects detected Detection preview by Segmentation_V11_large_300_train_300 No objects detected Detection preview by Segmentation_v8_large_300_train_300
Original Image: P08416.jpg
GT: pliers
pliers Detection preview by Box_v11_medium_train_SIXray_OPIXray pliers Detection preview by DN_Medium_300_yolov8m_20t7_new No objects detected Detection preview by Segmentatation_v8_medium_train_250 No objects detected Detection preview by Segmentation_V11_large_300_train_300 No objects detected Detection preview by Segmentation_v8_large_300_train_300
Original Image: P08417.jpg
GT: scissors
scissor Detection preview by Box_v11_medium_train_SIXray_OPIXray No objects detected Detection preview by DN_Medium_300_yolov8m_20t7_new scissor Detection preview by Segmentatation_v8_medium_train_250 scissor Detection preview by Segmentation_V11_large_300_train_300 scissor Detection preview by Segmentation_v8_large_300_train_300
Original Image: P08418.jpg
GT: pliers
pliers Detection preview by Box_v11_medium_train_SIXray_OPIXray No objects detected Detection preview by DN_Medium_300_yolov8m_20t7_new No objects detected Detection preview by Segmentatation_v8_medium_train_250 No objects detected Detection preview by Segmentation_V11_large_300_train_300 No objects detected Detection preview by Segmentation_v8_large_300_train_300
Original Image: P08419.jpg
GT: pliers
pliers Detection preview by Box_v11_medium_train_SIXray_OPIXray No objects detected Detection preview by DN_Medium_300_yolov8m_20t7_new No objects detected Detection preview by Segmentatation_v8_medium_train_250 No objects detected Detection preview by Segmentation_V11_large_300_train_300 No objects detected Detection preview by Segmentation_v8_large_300_train_300
Original Image: P08420.jpg
GT: pliers
pliers Detection preview by Box_v11_medium_train_SIXray_OPIXray No objects detected Detection preview by DN_Medium_300_yolov8m_20t7_new No objects detected Detection preview by Segmentatation_v8_medium_train_250 No objects detected Detection preview by Segmentation_V11_large_300_train_300 No objects detected Detection preview by Segmentation_v8_large_300_train_300
Original Image: P08421.jpg
GT: pliers
pliers Detection preview by Box_v11_medium_train_SIXray_OPIXray pliers Detection preview by DN_Medium_300_yolov8m_20t7_new No objects detected Detection preview by Segmentatation_v8_medium_train_250 No objects detected Detection preview by Segmentation_V11_large_300_train_300 No objects detected Detection preview by Segmentation_v8_large_300_train_300
Original Image: P08422.jpg
GT: pliers
pliers Detection preview by Box_v11_medium_train_SIXray_OPIXray No objects detected Detection preview by DN_Medium_300_yolov8m_20t7_new No objects detected Detection preview by Segmentatation_v8_medium_train_250 No objects detected Detection preview by Segmentation_V11_large_300_train_300 No objects detected Detection preview by Segmentation_v8_large_300_train_300
Original Image: P08423.jpg
GT: pliers
pliers Detection preview by Box_v11_medium_train_SIXray_OPIXray No objects detected Detection preview by DN_Medium_300_yolov8m_20t7_new No objects detected Detection preview by Segmentatation_v8_medium_train_250 No objects detected Detection preview by Segmentation_V11_large_300_train_300 No objects detected Detection preview by Segmentation_v8_large_300_train_300
Original Image: P08424.jpg
GT: pliers
pliers Detection preview by Box_v11_medium_train_SIXray_OPIXray No objects detected Detection preview by DN_Medium_300_yolov8m_20t7_new No objects detected Detection preview by Segmentatation_v8_medium_train_250 No objects detected Detection preview by Segmentation_V11_large_300_train_300 No objects detected Detection preview by Segmentation_v8_large_300_train_300
Original Image: P08425.jpg
GT: knife
knife Detection preview by Box_v11_medium_train_SIXray_OPIXray No objects detected Detection preview by DN_Medium_300_yolov8m_20t7_new No objects detected Detection preview by Segmentatation_v8_medium_train_250 No objects detected Detection preview by Segmentation_V11_large_300_train_300 No objects detected Detection preview by Segmentation_v8_large_300_train_300
Original Image: P08426.jpg
GT: pliers
pliers Detection preview by Box_v11_medium_train_SIXray_OPIXray No objects detected Detection preview by DN_Medium_300_yolov8m_20t7_new No objects detected Detection preview by Segmentatation_v8_medium_train_250 No objects detected Detection preview by Segmentation_V11_large_300_train_300 No objects detected Detection preview by Segmentation_v8_large_300_train_300
Original Image: P08427.jpg
GT: pliers
pliers Detection preview by Box_v11_medium_train_SIXray_OPIXray No objects detected Detection preview by DN_Medium_300_yolov8m_20t7_new No objects detected Detection preview by Segmentatation_v8_medium_train_250 No objects detected Detection preview by Segmentation_V11_large_300_train_300 No objects detected Detection preview by Segmentation_v8_large_300_train_300
Original Image: P08428.jpg
GT: pliers
pliers Detection preview by Box_v11_medium_train_SIXray_OPIXray No objects detected Detection preview by DN_Medium_300_yolov8m_20t7_new No objects detected Detection preview by Segmentatation_v8_medium_train_250 No objects detected Detection preview by Segmentation_V11_large_300_train_300 No objects detected Detection preview by Segmentation_v8_large_300_train_300
Original Image: P08429.jpg
GT: pliers, wrench
pliers, wrench Detection preview by Box_v11_medium_train_SIXray_OPIXray No objects detected Detection preview by DN_Medium_300_yolov8m_20t7_new wrench Detection preview by Segmentatation_v8_medium_train_250 wrench Detection preview by Segmentation_V11_large_300_train_300 wrench Detection preview by Segmentation_v8_large_300_train_300
Original Image: P08430.jpg
GT: pliers, wrench
pliers, wrench Detection preview by Box_v11_medium_train_SIXray_OPIXray No objects detected Detection preview by DN_Medium_300_yolov8m_20t7_new wrench Detection preview by Segmentatation_v8_medium_train_250 wrench Detection preview by Segmentation_V11_large_300_train_300 wrench Detection preview by Segmentation_v8_large_300_train_300
Original Image: P08431.jpg
GT: scissors
scissor Detection preview by Box_v11_medium_train_SIXray_OPIXray No objects detected Detection preview by DN_Medium_300_yolov8m_20t7_new scissor Detection preview by Segmentatation_v8_medium_train_250 scissor Detection preview by Segmentation_V11_large_300_train_300 scissor Detection preview by Segmentation_v8_large_300_train_300
Original Image: P08432.jpg
GT: scissors
scissor Detection preview by Box_v11_medium_train_SIXray_OPIXray No objects detected Detection preview by DN_Medium_300_yolov8m_20t7_new scissor Detection preview by Segmentatation_v8_medium_train_250 scissor Detection preview by Segmentation_V11_large_300_train_300 scissor Detection preview by Segmentation_v8_large_300_train_300
Original Image: P08433.jpg
GT: scissors
scissor Detection preview by Box_v11_medium_train_SIXray_OPIXray No objects detected Detection preview by DN_Medium_300_yolov8m_20t7_new scissor Detection preview by Segmentatation_v8_medium_train_250 scissor Detection preview by Segmentation_V11_large_300_train_300 scissor Detection preview by Segmentation_v8_large_300_train_300
Original Image: P08434.jpg
GT: pliers
pliers Detection preview by Box_v11_medium_train_SIXray_OPIXray No objects detected Detection preview by DN_Medium_300_yolov8m_20t7_new No objects detected Detection preview by Segmentatation_v8_medium_train_250 No objects detected Detection preview by Segmentation_V11_large_300_train_300 No objects detected Detection preview by Segmentation_v8_large_300_train_300
Original Image: P08435.jpg
GT: scissors
scissor Detection preview by Box_v11_medium_train_SIXray_OPIXray No objects detected Detection preview by DN_Medium_300_yolov8m_20t7_new scissor Detection preview by Segmentatation_v8_medium_train_250 scissor Detection preview by Segmentation_V11_large_300_train_300 scissor Detection preview by Segmentation_v8_large_300_train_300
Original Image: P08436.jpg
GT: scissors
scissor Detection preview by Box_v11_medium_train_SIXray_OPIXray No objects detected Detection preview by DN_Medium_300_yolov8m_20t7_new scissor Detection preview by Segmentatation_v8_medium_train_250 scissor Detection preview by Segmentation_V11_large_300_train_300 scissor Detection preview by Segmentation_v8_large_300_train_300
Original Image: P08437.jpg
GT: scissors
scissor Detection preview by Box_v11_medium_train_SIXray_OPIXray No objects detected Detection preview by DN_Medium_300_yolov8m_20t7_new scissor Detection preview by Segmentatation_v8_medium_train_250 scissor Detection preview by Segmentation_V11_large_300_train_300 scissor Detection preview by Segmentation_v8_large_300_train_300
Original Image: P08438.jpg
GT: scissors
scissor Detection preview by Box_v11_medium_train_SIXray_OPIXray No objects detected Detection preview by DN_Medium_300_yolov8m_20t7_new scissor Detection preview by Segmentatation_v8_medium_train_250 scissor Detection preview by Segmentation_V11_large_300_train_300 scissor Detection preview by Segmentation_v8_large_300_train_300
Original Image: P08439.jpg
GT: scissors
scissor Detection preview by Box_v11_medium_train_SIXray_OPIXray No objects detected Detection preview by DN_Medium_300_yolov8m_20t7_new scissor Detection preview by Segmentatation_v8_medium_train_250 scissor Detection preview by Segmentation_V11_large_300_train_300 scissor Detection preview by Segmentation_v8_large_300_train_300
Original Image: P08440.jpg
GT: scissors
scissor Detection preview by Box_v11_medium_train_SIXray_OPIXray No objects detected Detection preview by DN_Medium_300_yolov8m_20t7_new scissor Detection preview by Segmentatation_v8_medium_train_250 scissor Detection preview by Segmentation_V11_large_300_train_300 scissor Detection preview by Segmentation_v8_large_300_train_300
Original Image: P08441.jpg
GT: scissors
scissor Detection preview by Box_v11_medium_train_SIXray_OPIXray No objects detected Detection preview by DN_Medium_300_yolov8m_20t7_new scissor Detection preview by Segmentatation_v8_medium_train_250 scissor Detection preview by Segmentation_V11_large_300_train_300 scissor Detection preview by Segmentation_v8_large_300_train_300
Original Image: P08442.jpg
GT: scissors
scissor Detection preview by Box_v11_medium_train_SIXray_OPIXray No objects detected Detection preview by DN_Medium_300_yolov8m_20t7_new scissor Detection preview by Segmentatation_v8_medium_train_250 scissor Detection preview by Segmentation_V11_large_300_train_300 scissor Detection preview by Segmentation_v8_large_300_train_300
Original Image: P08443.jpg
GT: wrench
wrench Detection preview by Box_v11_medium_train_SIXray_OPIXray No objects detected Detection preview by DN_Medium_300_yolov8m_20t7_new wrench Detection preview by Segmentatation_v8_medium_train_250 wrench Detection preview by Segmentation_V11_large_300_train_300 wrench Detection preview by Segmentation_v8_large_300_train_300
Original Image: P08444.jpg
GT: wrench
wrench Detection preview by Box_v11_medium_train_SIXray_OPIXray No objects detected Detection preview by DN_Medium_300_yolov8m_20t7_new wrench Detection preview by Segmentatation_v8_medium_train_250 wrench Detection preview by Segmentation_V11_large_300_train_300 wrench Detection preview by Segmentation_v8_large_300_train_300
Original Image: P08445.jpg
GT: wrench
wrench Detection preview by Box_v11_medium_train_SIXray_OPIXray No objects detected Detection preview by DN_Medium_300_yolov8m_20t7_new wrench Detection preview by Segmentatation_v8_medium_train_250 wrench Detection preview by Segmentation_V11_large_300_train_300 wrench Detection preview by Segmentation_v8_large_300_train_300
Original Image: P08446.jpg
GT: scissors
scissor Detection preview by Box_v11_medium_train_SIXray_OPIXray scissor Detection preview by DN_Medium_300_yolov8m_20t7_new scissor Detection preview by Segmentatation_v8_medium_train_250 scissor Detection preview by Segmentation_V11_large_300_train_300 scissor Detection preview by Segmentation_v8_large_300_train_300
Original Image: P08447.jpg
GT: scissors
scissor Detection preview by Box_v11_medium_train_SIXray_OPIXray scissor Detection preview by DN_Medium_300_yolov8m_20t7_new scissor Detection preview by Segmentatation_v8_medium_train_250 scissor Detection preview by Segmentation_V11_large_300_train_300 scissor Detection preview by Segmentation_v8_large_300_train_300
Original Image: P08448.jpg
GT: scissors
scissor Detection preview by Box_v11_medium_train_SIXray_OPIXray scissor Detection preview by DN_Medium_300_yolov8m_20t7_new scissor Detection preview by Segmentatation_v8_medium_train_250 scissor Detection preview by Segmentation_V11_large_300_train_300 scissor Detection preview by Segmentation_v8_large_300_train_300
Original Image: P08449.jpg
GT: scissors
scissor Detection preview by Box_v11_medium_train_SIXray_OPIXray scissor Detection preview by DN_Medium_300_yolov8m_20t7_new scissor Detection preview by Segmentatation_v8_medium_train_250 scissor Detection preview by Segmentation_V11_large_300_train_300 scissor Detection preview by Segmentation_v8_large_300_train_300
Original Image: P08450.jpg
GT: scissors
scissor Detection preview by Box_v11_medium_train_SIXray_OPIXray scissor Detection preview by DN_Medium_300_yolov8m_20t7_new scissor Detection preview by Segmentatation_v8_medium_train_250 scissor Detection preview by Segmentation_V11_large_300_train_300 scissor Detection preview by Segmentation_v8_large_300_train_300
Original Image: P08451.jpg
GT: scissors
scissor Detection preview by Box_v11_medium_train_SIXray_OPIXray scissor Detection preview by DN_Medium_300_yolov8m_20t7_new scissor Detection preview by Segmentatation_v8_medium_train_250 scissor Detection preview by Segmentation_V11_large_300_train_300 scissor Detection preview by Segmentation_v8_large_300_train_300
Original Image: P08452.jpg
GT: scissors
scissor Detection preview by Box_v11_medium_train_SIXray_OPIXray scissor Detection preview by DN_Medium_300_yolov8m_20t7_new scissor Detection preview by Segmentatation_v8_medium_train_250 scissor Detection preview by Segmentation_V11_large_300_train_300 scissor Detection preview by Segmentation_v8_large_300_train_300
Original Image: P08453.jpg
GT: scissors
scissor Detection preview by Box_v11_medium_train_SIXray_OPIXray scissor Detection preview by DN_Medium_300_yolov8m_20t7_new scissor Detection preview by Segmentatation_v8_medium_train_250 scissor Detection preview by Segmentation_V11_large_300_train_300 scissor Detection preview by Segmentation_v8_large_300_train_300
Original Image: P08454.jpg
GT: scissors
scissor Detection preview by Box_v11_medium_train_SIXray_OPIXray scissor Detection preview by DN_Medium_300_yolov8m_20t7_new scissor Detection preview by Segmentatation_v8_medium_train_250 scissor Detection preview by Segmentation_V11_large_300_train_300 scissor Detection preview by Segmentation_v8_large_300_train_300
Original Image: P08455.jpg
GT: scissors
scissor Detection preview by Box_v11_medium_train_SIXray_OPIXray scissor Detection preview by DN_Medium_300_yolov8m_20t7_new scissor Detection preview by Segmentatation_v8_medium_train_250 scissor Detection preview by Segmentation_V11_large_300_train_300 scissor Detection preview by Segmentation_v8_large_300_train_300
Original Image: P08456.jpg
GT: scissors
scissor Detection preview by Box_v11_medium_train_SIXray_OPIXray scissor Detection preview by DN_Medium_300_yolov8m_20t7_new scissor Detection preview by Segmentatation_v8_medium_train_250 scissor Detection preview by Segmentation_V11_large_300_train_300 scissor Detection preview by Segmentation_v8_large_300_train_300
Original Image: P08457.jpg
GT: scissors
scissor Detection preview by Box_v11_medium_train_SIXray_OPIXray No objects detected Detection preview by DN_Medium_300_yolov8m_20t7_new scissor Detection preview by Segmentatation_v8_medium_train_250 scissor Detection preview by Segmentation_V11_large_300_train_300 scissor Detection preview by Segmentation_v8_large_300_train_300
Original Image: P08458.jpg
GT: scissors
scissor Detection preview by Box_v11_medium_train_SIXray_OPIXray No objects detected Detection preview by DN_Medium_300_yolov8m_20t7_new scissor Detection preview by Segmentatation_v8_medium_train_250 scissor Detection preview by Segmentation_V11_large_300_train_300 scissor Detection preview by Segmentation_v8_large_300_train_300
Original Image: P08459.jpg
GT: pliers
pliers Detection preview by Box_v11_medium_train_SIXray_OPIXray No objects detected Detection preview by DN_Medium_300_yolov8m_20t7_new No objects detected Detection preview by Segmentatation_v8_medium_train_250 No objects detected Detection preview by Segmentation_V11_large_300_train_300 No objects detected Detection preview by Segmentation_v8_large_300_train_300
Original Image: P08460.jpg
GT: wrench
wrench Detection preview by Box_v11_medium_train_SIXray_OPIXray No objects detected Detection preview by DN_Medium_300_yolov8m_20t7_new wrench Detection preview by Segmentatation_v8_medium_train_250 wrench Detection preview by Segmentation_V11_large_300_train_300 wrench Detection preview by Segmentation_v8_large_300_train_300
Original Image: P08461.jpg
GT: wrench
wrench Detection preview by Box_v11_medium_train_SIXray_OPIXray No objects detected Detection preview by DN_Medium_300_yolov8m_20t7_new wrench Detection preview by Segmentatation_v8_medium_train_250 wrench Detection preview by Segmentation_V11_large_300_train_300 wrench Detection preview by Segmentation_v8_large_300_train_300
Original Image: P08462.jpg
GT: wrench
wrench Detection preview by Box_v11_medium_train_SIXray_OPIXray No objects detected Detection preview by DN_Medium_300_yolov8m_20t7_new wrench Detection preview by Segmentatation_v8_medium_train_250 wrench Detection preview by Segmentation_V11_large_300_train_300 wrench Detection preview by Segmentation_v8_large_300_train_300
Original Image: P08463.jpg
GT: pliers
pliers Detection preview by Box_v11_medium_train_SIXray_OPIXray No objects detected Detection preview by DN_Medium_300_yolov8m_20t7_new No objects detected Detection preview by Segmentatation_v8_medium_train_250 No objects detected Detection preview by Segmentation_V11_large_300_train_300 No objects detected Detection preview by Segmentation_v8_large_300_train_300
Original Image: P08464.jpg
GT: pliers, wrench
pliers, wrench Detection preview by Box_v11_medium_train_SIXray_OPIXray No objects detected Detection preview by DN_Medium_300_yolov8m_20t7_new wrench Detection preview by Segmentatation_v8_medium_train_250 wrench Detection preview by Segmentation_V11_large_300_train_300 wrench Detection preview by Segmentation_v8_large_300_train_300
Original Image: P08465.jpg
GT: wrench
wrench Detection preview by Box_v11_medium_train_SIXray_OPIXray No objects detected Detection preview by DN_Medium_300_yolov8m_20t7_new wrench Detection preview by Segmentatation_v8_medium_train_250 wrench Detection preview by Segmentation_V11_large_300_train_300 wrench Detection preview by Segmentation_v8_large_300_train_300
Original Image: P08466.jpg
GT: wrench
wrench Detection preview by Box_v11_medium_train_SIXray_OPIXray No objects detected Detection preview by DN_Medium_300_yolov8m_20t7_new wrench Detection preview by Segmentatation_v8_medium_train_250 wrench Detection preview by Segmentation_V11_large_300_train_300 wrench Detection preview by Segmentation_v8_large_300_train_300
Original Image: P08467.jpg
GT: wrench
wrench Detection preview by Box_v11_medium_train_SIXray_OPIXray No objects detected Detection preview by DN_Medium_300_yolov8m_20t7_new wrench Detection preview by Segmentatation_v8_medium_train_250 wrench Detection preview by Segmentation_V11_large_300_train_300 wrench Detection preview by Segmentation_v8_large_300_train_300
Original Image: P08468.jpg
GT: wrench
wrench Detection preview by Box_v11_medium_train_SIXray_OPIXray No objects detected Detection preview by DN_Medium_300_yolov8m_20t7_new wrench Detection preview by Segmentatation_v8_medium_train_250 wrench Detection preview by Segmentation_V11_large_300_train_300 wrench Detection preview by Segmentation_v8_large_300_train_300
Original Image: P08469.jpg
GT: scissors
scissor Detection preview by Box_v11_medium_train_SIXray_OPIXray No objects detected Detection preview by DN_Medium_300_yolov8m_20t7_new scissor Detection preview by Segmentatation_v8_medium_train_250 scissor Detection preview by Segmentation_V11_large_300_train_300 scissor Detection preview by Segmentation_v8_large_300_train_300
Original Image: P08470.jpg
GT: scissors
scissor Detection preview by Box_v11_medium_train_SIXray_OPIXray No objects detected Detection preview by DN_Medium_300_yolov8m_20t7_new scissor Detection preview by Segmentatation_v8_medium_train_250 scissor Detection preview by Segmentation_V11_large_300_train_300 scissor Detection preview by Segmentation_v8_large_300_train_300
Original Image: P08471.jpg
GT: scissors
scissor Detection preview by Box_v11_medium_train_SIXray_OPIXray No objects detected Detection preview by DN_Medium_300_yolov8m_20t7_new scissor Detection preview by Segmentatation_v8_medium_train_250 scissor Detection preview by Segmentation_V11_large_300_train_300 scissor Detection preview by Segmentation_v8_large_300_train_300
Original Image: P08472.jpg
GT: scissors
scissor Detection preview by Box_v11_medium_train_SIXray_OPIXray No objects detected Detection preview by DN_Medium_300_yolov8m_20t7_new scissor Detection preview by Segmentatation_v8_medium_train_250 scissor Detection preview by Segmentation_V11_large_300_train_300 scissor Detection preview by Segmentation_v8_large_300_train_300
Original Image: P08473.jpg
GT: scissors
scissor Detection preview by Box_v11_medium_train_SIXray_OPIXray No objects detected Detection preview by DN_Medium_300_yolov8m_20t7_new scissor Detection preview by Segmentatation_v8_medium_train_250 scissor Detection preview by Segmentation_V11_large_300_train_300 scissor Detection preview by Segmentation_v8_large_300_train_300
Original Image: P08474.jpg
GT: scissors
scissor Detection preview by Box_v11_medium_train_SIXray_OPIXray No objects detected Detection preview by DN_Medium_300_yolov8m_20t7_new scissor Detection preview by Segmentatation_v8_medium_train_250 scissor Detection preview by Segmentation_V11_large_300_train_300 scissor Detection preview by Segmentation_v8_large_300_train_300
Original Image: P08475.jpg
GT: pliers, wrench
pliers, wrench Detection preview by Box_v11_medium_train_SIXray_OPIXray No objects detected Detection preview by DN_Medium_300_yolov8m_20t7_new wrench Detection preview by Segmentatation_v8_medium_train_250 wrench Detection preview by Segmentation_V11_large_300_train_300 wrench Detection preview by Segmentation_v8_large_300_train_300
Original Image: P08476.jpg
GT: pliers, wrench
pliers, wrench Detection preview by Box_v11_medium_train_SIXray_OPIXray No objects detected Detection preview by DN_Medium_300_yolov8m_20t7_new wrench Detection preview by Segmentatation_v8_medium_train_250 wrench Detection preview by Segmentation_V11_large_300_train_300 wrench Detection preview by Segmentation_v8_large_300_train_300
Original Image: P08477.jpg
GT: pliers, wrench
pliers, wrench Detection preview by Box_v11_medium_train_SIXray_OPIXray No objects detected Detection preview by DN_Medium_300_yolov8m_20t7_new wrench Detection preview by Segmentatation_v8_medium_train_250 wrench Detection preview by Segmentation_V11_large_300_train_300 wrench Detection preview by Segmentation_v8_large_300_train_300
Original Image: P08478.jpg
GT: pliers, wrench
pliers, wrench Detection preview by Box_v11_medium_train_SIXray_OPIXray No objects detected Detection preview by DN_Medium_300_yolov8m_20t7_new wrench Detection preview by Segmentatation_v8_medium_train_250 wrench Detection preview by Segmentation_V11_large_300_train_300 wrench Detection preview by Segmentation_v8_large_300_train_300
Original Image: P08479.jpg
GT: scissors
scissor Detection preview by Box_v11_medium_train_SIXray_OPIXray No objects detected Detection preview by DN_Medium_300_yolov8m_20t7_new scissor Detection preview by Segmentatation_v8_medium_train_250 scissor Detection preview by Segmentation_V11_large_300_train_300 scissor Detection preview by Segmentation_v8_large_300_train_300
Original Image: P08480.jpg
GT: scissors
scissor Detection preview by Box_v11_medium_train_SIXray_OPIXray No objects detected Detection preview by DN_Medium_300_yolov8m_20t7_new scissor Detection preview by Segmentatation_v8_medium_train_250 scissor Detection preview by Segmentation_V11_large_300_train_300 scissor Detection preview by Segmentation_v8_large_300_train_300
Original Image: P08481.jpg
GT: pliers, wrench
pliers, wrench Detection preview by Box_v11_medium_train_SIXray_OPIXray pliers Detection preview by DN_Medium_300_yolov8m_20t7_new wrench Detection preview by Segmentatation_v8_medium_train_250 wrench Detection preview by Segmentation_V11_large_300_train_300 wrench Detection preview by Segmentation_v8_large_300_train_300
Original Image: P08482.jpg
GT: pliers, wrench
pliers, wrench Detection preview by Box_v11_medium_train_SIXray_OPIXray pliers Detection preview by DN_Medium_300_yolov8m_20t7_new wrench Detection preview by Segmentatation_v8_medium_train_250 wrench Detection preview by Segmentation_V11_large_300_train_300 wrench Detection preview by Segmentation_v8_large_300_train_300
Original Image: P08483.jpg
GT: pliers
pliers Detection preview by Box_v11_medium_train_SIXray_OPIXray pliers Detection preview by DN_Medium_300_yolov8m_20t7_new No objects detected Detection preview by Segmentatation_v8_medium_train_250 No objects detected Detection preview by Segmentation_V11_large_300_train_300 No objects detected Detection preview by Segmentation_v8_large_300_train_300
Original Image: P08484.jpg
GT: pliers
pliers Detection preview by Box_v11_medium_train_SIXray_OPIXray pliers Detection preview by DN_Medium_300_yolov8m_20t7_new No objects detected Detection preview by Segmentatation_v8_medium_train_250 No objects detected Detection preview by Segmentation_V11_large_300_train_300 No objects detected Detection preview by Segmentation_v8_large_300_train_300
Original Image: P08485.jpg
GT: pliers
pliers Detection preview by Box_v11_medium_train_SIXray_OPIXray pliers Detection preview by DN_Medium_300_yolov8m_20t7_new No objects detected Detection preview by Segmentatation_v8_medium_train_250 No objects detected Detection preview by Segmentation_V11_large_300_train_300 No objects detected Detection preview by Segmentation_v8_large_300_train_300
Original Image: P08486.jpg
GT: pliers
pliers Detection preview by Box_v11_medium_train_SIXray_OPIXray No objects detected Detection preview by DN_Medium_300_yolov8m_20t7_new No objects detected Detection preview by Segmentatation_v8_medium_train_250 No objects detected Detection preview by Segmentation_V11_large_300_train_300 No objects detected Detection preview by Segmentation_v8_large_300_train_300
Original Image: P08487.jpg
GT: pliers
pliers Detection preview by Box_v11_medium_train_SIXray_OPIXray No objects detected Detection preview by DN_Medium_300_yolov8m_20t7_new No objects detected Detection preview by Segmentatation_v8_medium_train_250 No objects detected Detection preview by Segmentation_V11_large_300_train_300 No objects detected Detection preview by Segmentation_v8_large_300_train_300
Original Image: P08488.jpg
GT: pliers
pliers Detection preview by Box_v11_medium_train_SIXray_OPIXray No objects detected Detection preview by DN_Medium_300_yolov8m_20t7_new No objects detected Detection preview by Segmentatation_v8_medium_train_250 No objects detected Detection preview by Segmentation_V11_large_300_train_300 No objects detected Detection preview by Segmentation_v8_large_300_train_300
Original Image: P08489.jpg
GT: pliers
pliers Detection preview by Box_v11_medium_train_SIXray_OPIXray pliers Detection preview by DN_Medium_300_yolov8m_20t7_new No objects detected Detection preview by Segmentatation_v8_medium_train_250 No objects detected Detection preview by Segmentation_V11_large_300_train_300 No objects detected Detection preview by Segmentation_v8_large_300_train_300
Original Image: P08490.jpg
GT: pliers
pliers Detection preview by Box_v11_medium_train_SIXray_OPIXray pliers Detection preview by DN_Medium_300_yolov8m_20t7_new No objects detected Detection preview by Segmentatation_v8_medium_train_250 No objects detected Detection preview by Segmentation_V11_large_300_train_300 No objects detected Detection preview by Segmentation_v8_large_300_train_300
Original Image: P08491.jpg
GT: pliers
pliers Detection preview by Box_v11_medium_train_SIXray_OPIXray pliers Detection preview by DN_Medium_300_yolov8m_20t7_new No objects detected Detection preview by Segmentatation_v8_medium_train_250 No objects detected Detection preview by Segmentation_V11_large_300_train_300 No objects detected Detection preview by Segmentation_v8_large_300_train_300
Original Image: P08492.jpg
GT: pliers, wrench
pliers, wrench Detection preview by Box_v11_medium_train_SIXray_OPIXray No objects detected Detection preview by DN_Medium_300_yolov8m_20t7_new wrench Detection preview by Segmentatation_v8_medium_train_250 wrench Detection preview by Segmentation_V11_large_300_train_300 wrench Detection preview by Segmentation_v8_large_300_train_300
Original Image: P08493.jpg
GT: pliers, wrench
pliers, wrench Detection preview by Box_v11_medium_train_SIXray_OPIXray No objects detected Detection preview by DN_Medium_300_yolov8m_20t7_new wrench Detection preview by Segmentatation_v8_medium_train_250 wrench Detection preview by Segmentation_V11_large_300_train_300 wrench Detection preview by Segmentation_v8_large_300_train_300
Original Image: P08494.jpg
GT: pliers
pliers Detection preview by Box_v11_medium_train_SIXray_OPIXray pliers Detection preview by DN_Medium_300_yolov8m_20t7_new No objects detected Detection preview by Segmentatation_v8_medium_train_250 No objects detected Detection preview by Segmentation_V11_large_300_train_300 No objects detected Detection preview by Segmentation_v8_large_300_train_300
Original Image: P08495.jpg
GT: pliers
pliers Detection preview by Box_v11_medium_train_SIXray_OPIXray pliers Detection preview by DN_Medium_300_yolov8m_20t7_new No objects detected Detection preview by Segmentatation_v8_medium_train_250 No objects detected Detection preview by Segmentation_V11_large_300_train_300 No objects detected Detection preview by Segmentation_v8_large_300_train_300
Original Image: P08496.jpg
GT: pliers
pliers Detection preview by Box_v11_medium_train_SIXray_OPIXray pliers Detection preview by DN_Medium_300_yolov8m_20t7_new No objects detected Detection preview by Segmentatation_v8_medium_train_250 No objects detected Detection preview by Segmentation_V11_large_300_train_300 No objects detected Detection preview by Segmentation_v8_large_300_train_300
Original Image: P08497.jpg
GT: pliers
pliers Detection preview by Box_v11_medium_train_SIXray_OPIXray No objects detected Detection preview by DN_Medium_300_yolov8m_20t7_new No objects detected Detection preview by Segmentatation_v8_medium_train_250 scissor Detection preview by Segmentation_V11_large_300_train_300 No objects detected Detection preview by Segmentation_v8_large_300_train_300
Original Image: P08498.jpg
GT: pliers
pliers Detection preview by Box_v11_medium_train_SIXray_OPIXray pliers Detection preview by DN_Medium_300_yolov8m_20t7_new No objects detected Detection preview by Segmentatation_v8_medium_train_250 No objects detected Detection preview by Segmentation_V11_large_300_train_300 No objects detected Detection preview by Segmentation_v8_large_300_train_300
Original Image: P08499.jpg
GT: pliers
pliers Detection preview by Box_v11_medium_train_SIXray_OPIXray pliers Detection preview by DN_Medium_300_yolov8m_20t7_new No objects detected Detection preview by Segmentatation_v8_medium_train_250 No objects detected Detection preview by Segmentation_V11_large_300_train_300 No objects detected Detection preview by Segmentation_v8_large_300_train_300
Original Image: P08500.jpg
GT: pliers, wrench
pliers, wrench Detection preview by Box_v11_medium_train_SIXray_OPIXray No objects detected Detection preview by DN_Medium_300_yolov8m_20t7_new No objects detected Detection preview by Segmentatation_v8_medium_train_250 wrench Detection preview by Segmentation_V11_large_300_train_300 No objects detected Detection preview by Segmentation_v8_large_300_train_300
Original Image: P08501.jpg
GT: pliers, wrench
pliers, wrench Detection preview by Box_v11_medium_train_SIXray_OPIXray No objects detected Detection preview by DN_Medium_300_yolov8m_20t7_new No objects detected Detection preview by Segmentatation_v8_medium_train_250 wrench Detection preview by Segmentation_V11_large_300_train_300 No objects detected Detection preview by Segmentation_v8_large_300_train_300
Original Image: P08502.jpg
GT: pliers, wrench
pliers, wrench Detection preview by Box_v11_medium_train_SIXray_OPIXray No objects detected Detection preview by DN_Medium_300_yolov8m_20t7_new wrench Detection preview by Segmentatation_v8_medium_train_250 wrench Detection preview by Segmentation_V11_large_300_train_300 wrench Detection preview by Segmentation_v8_large_300_train_300
Original Image: P08503.jpg
GT: pliers, wrench
pliers, wrench Detection preview by Box_v11_medium_train_SIXray_OPIXray No objects detected Detection preview by DN_Medium_300_yolov8m_20t7_new wrench Detection preview by Segmentatation_v8_medium_train_250 wrench Detection preview by Segmentation_V11_large_300_train_300 wrench Detection preview by Segmentation_v8_large_300_train_300
Original Image: P08504.jpg
GT: scissors
scissor Detection preview by Box_v11_medium_train_SIXray_OPIXray scissor Detection preview by DN_Medium_300_yolov8m_20t7_new scissor Detection preview by Segmentatation_v8_medium_train_250 scissor Detection preview by Segmentation_V11_large_300_train_300 scissor Detection preview by Segmentation_v8_large_300_train_300
Original Image: P08505.jpg
GT: scissors
scissor Detection preview by Box_v11_medium_train_SIXray_OPIXray No objects detected Detection preview by DN_Medium_300_yolov8m_20t7_new scissor Detection preview by Segmentatation_v8_medium_train_250 scissor Detection preview by Segmentation_V11_large_300_train_300 scissor Detection preview by Segmentation_v8_large_300_train_300
Original Image: P08506.jpg
GT: pliers
pliers Detection preview by Box_v11_medium_train_SIXray_OPIXray No objects detected Detection preview by DN_Medium_300_yolov8m_20t7_new No objects detected Detection preview by Segmentatation_v8_medium_train_250 No objects detected Detection preview by Segmentation_V11_large_300_train_300 No objects detected Detection preview by Segmentation_v8_large_300_train_300
Original Image: P08507.jpg
GT: pliers
pliers Detection preview by Box_v11_medium_train_SIXray_OPIXray No objects detected Detection preview by DN_Medium_300_yolov8m_20t7_new No objects detected Detection preview by Segmentatation_v8_medium_train_250 No objects detected Detection preview by Segmentation_V11_large_300_train_300 No objects detected Detection preview by Segmentation_v8_large_300_train_300
Original Image: P08508.jpg
GT: pliers, wrench
pliers, wrench Detection preview by Box_v11_medium_train_SIXray_OPIXray No objects detected Detection preview by DN_Medium_300_yolov8m_20t7_new wrench Detection preview by Segmentatation_v8_medium_train_250 wrench Detection preview by Segmentation_V11_large_300_train_300 wrench Detection preview by Segmentation_v8_large_300_train_300
Original Image: P08509.jpg
GT: pliers
pliers Detection preview by Box_v11_medium_train_SIXray_OPIXray No objects detected Detection preview by DN_Medium_300_yolov8m_20t7_new No objects detected Detection preview by Segmentatation_v8_medium_train_250 No objects detected Detection preview by Segmentation_V11_large_300_train_300 No objects detected Detection preview by Segmentation_v8_large_300_train_300
Original Image: P08510.jpg
GT: pliers
pliers Detection preview by Box_v11_medium_train_SIXray_OPIXray No objects detected Detection preview by DN_Medium_300_yolov8m_20t7_new No objects detected Detection preview by Segmentatation_v8_medium_train_250 No objects detected Detection preview by Segmentation_V11_large_300_train_300 No objects detected Detection preview by Segmentation_v8_large_300_train_300
Original Image: P08511.jpg
GT: knife
knife Detection preview by Box_v11_medium_train_SIXray_OPIXray No objects detected Detection preview by DN_Medium_300_yolov8m_20t7_new scissor Detection preview by Segmentatation_v8_medium_train_250 scissor Detection preview by Segmentation_V11_large_300_train_300 scissor Detection preview by Segmentation_v8_large_300_train_300
Original Image: P08512.jpg
GT: knife
knife Detection preview by Box_v11_medium_train_SIXray_OPIXray No objects detected Detection preview by DN_Medium_300_yolov8m_20t7_new scissor Detection preview by Segmentatation_v8_medium_train_250 scissor Detection preview by Segmentation_V11_large_300_train_300 scissor Detection preview by Segmentation_v8_large_300_train_300
Original Image: P08513.jpg
GT: scissors
scissor Detection preview by Box_v11_medium_train_SIXray_OPIXray No objects detected Detection preview by DN_Medium_300_yolov8m_20t7_new scissor Detection preview by Segmentatation_v8_medium_train_250 scissor Detection preview by Segmentation_V11_large_300_train_300 scissor Detection preview by Segmentation_v8_large_300_train_300
Original Image: P08514.jpg
GT: scissors
scissor Detection preview by Box_v11_medium_train_SIXray_OPIXray No objects detected Detection preview by DN_Medium_300_yolov8m_20t7_new scissor Detection preview by Segmentatation_v8_medium_train_250 scissor Detection preview by Segmentation_V11_large_300_train_300 scissor Detection preview by Segmentation_v8_large_300_train_300
Original Image: P08515.jpg
GT: wrench
wrench Detection preview by Box_v11_medium_train_SIXray_OPIXray No objects detected Detection preview by DN_Medium_300_yolov8m_20t7_new wrench Detection preview by Segmentatation_v8_medium_train_250 wrench Detection preview by Segmentation_V11_large_300_train_300 wrench Detection preview by Segmentation_v8_large_300_train_300
Original Image: P08516.jpg
GT: wrench
wrench Detection preview by Box_v11_medium_train_SIXray_OPIXray No objects detected Detection preview by DN_Medium_300_yolov8m_20t7_new wrench Detection preview by Segmentatation_v8_medium_train_250 wrench Detection preview by Segmentation_V11_large_300_train_300 wrench Detection preview by Segmentation_v8_large_300_train_300
Original Image: P08517.jpg
GT: wrench
wrench Detection preview by Box_v11_medium_train_SIXray_OPIXray No objects detected Detection preview by DN_Medium_300_yolov8m_20t7_new wrench Detection preview by Segmentatation_v8_medium_train_250 wrench Detection preview by Segmentation_V11_large_300_train_300 wrench Detection preview by Segmentation_v8_large_300_train_300
Original Image: P08518.jpg
GT: pliers
pliers Detection preview by Box_v11_medium_train_SIXray_OPIXray pliers Detection preview by DN_Medium_300_yolov8m_20t7_new No objects detected Detection preview by Segmentatation_v8_medium_train_250 No objects detected Detection preview by Segmentation_V11_large_300_train_300 No objects detected Detection preview by Segmentation_v8_large_300_train_300
Original Image: P08519.jpg
GT: scissors
scissor Detection preview by Box_v11_medium_train_SIXray_OPIXray scissor Detection preview by DN_Medium_300_yolov8m_20t7_new scissor Detection preview by Segmentatation_v8_medium_train_250 scissor Detection preview by Segmentation_V11_large_300_train_300 scissor Detection preview by Segmentation_v8_large_300_train_300
Original Image: P08520.jpg
GT: scissors
scissor Detection preview by Box_v11_medium_train_SIXray_OPIXray scissor Detection preview by DN_Medium_300_yolov8m_20t7_new scissor Detection preview by Segmentatation_v8_medium_train_250 scissor Detection preview by Segmentation_V11_large_300_train_300 scissor Detection preview by Segmentation_v8_large_300_train_300
Original Image: P08521.jpg
GT: knife
knife Detection preview by Box_v11_medium_train_SIXray_OPIXray No objects detected Detection preview by DN_Medium_300_yolov8m_20t7_new No objects detected Detection preview by Segmentatation_v8_medium_train_250 No objects detected Detection preview by Segmentation_V11_large_300_train_300 No objects detected Detection preview by Segmentation_v8_large_300_train_300
Original Image: P08522.jpg
GT: pliers
pliers Detection preview by Box_v11_medium_train_SIXray_OPIXray pliers Detection preview by DN_Medium_300_yolov8m_20t7_new wrench Detection preview by Segmentatation_v8_medium_train_250 No objects detected Detection preview by Segmentation_V11_large_300_train_300 wrench Detection preview by Segmentation_v8_large_300_train_300
Original Image: P08523.jpg
GT: pliers
pliers Detection preview by Box_v11_medium_train_SIXray_OPIXray No objects detected Detection preview by DN_Medium_300_yolov8m_20t7_new No objects detected Detection preview by Segmentatation_v8_medium_train_250 No objects detected Detection preview by Segmentation_V11_large_300_train_300 No objects detected Detection preview by Segmentation_v8_large_300_train_300
Original Image: P08524.jpg
GT: pliers
pliers Detection preview by Box_v11_medium_train_SIXray_OPIXray No objects detected Detection preview by DN_Medium_300_yolov8m_20t7_new No objects detected Detection preview by Segmentatation_v8_medium_train_250 No objects detected Detection preview by Segmentation_V11_large_300_train_300 No objects detected Detection preview by Segmentation_v8_large_300_train_300
Original Image: P08525.jpg
GT: pliers
pliers Detection preview by Box_v11_medium_train_SIXray_OPIXray No objects detected Detection preview by DN_Medium_300_yolov8m_20t7_new No objects detected Detection preview by Segmentatation_v8_medium_train_250 No objects detected Detection preview by Segmentation_V11_large_300_train_300 No objects detected Detection preview by Segmentation_v8_large_300_train_300
Original Image: P08526.jpg
GT: pliers
pliers Detection preview by Box_v11_medium_train_SIXray_OPIXray pliers Detection preview by DN_Medium_300_yolov8m_20t7_new No objects detected Detection preview by Segmentatation_v8_medium_train_250 No objects detected Detection preview by Segmentation_V11_large_300_train_300 No objects detected Detection preview by Segmentation_v8_large_300_train_300
Original Image: P08527.jpg
GT: pliers, wrench
pliers, wrench Detection preview by Box_v11_medium_train_SIXray_OPIXray pliers Detection preview by DN_Medium_300_yolov8m_20t7_new wrench Detection preview by Segmentatation_v8_medium_train_250 wrench Detection preview by Segmentation_V11_large_300_train_300 wrench Detection preview by Segmentation_v8_large_300_train_300
Original Image: P08528.jpg
GT: pliers, wrench
pliers, wrench Detection preview by Box_v11_medium_train_SIXray_OPIXray No objects detected Detection preview by DN_Medium_300_yolov8m_20t7_new No objects detected Detection preview by Segmentatation_v8_medium_train_250 No objects detected Detection preview by Segmentation_V11_large_300_train_300 No objects detected Detection preview by Segmentation_v8_large_300_train_300
Original Image: P08529.jpg
GT: scissors
scissor Detection preview by Box_v11_medium_train_SIXray_OPIXray No objects detected Detection preview by DN_Medium_300_yolov8m_20t7_new scissor Detection preview by Segmentatation_v8_medium_train_250 scissor Detection preview by Segmentation_V11_large_300_train_300 scissor Detection preview by Segmentation_v8_large_300_train_300
Original Image: P08530.jpg
GT: pliers, wrench
pliers, wrench Detection preview by Box_v11_medium_train_SIXray_OPIXray No objects detected Detection preview by DN_Medium_300_yolov8m_20t7_new wrench Detection preview by Segmentatation_v8_medium_train_250 wrench Detection preview by Segmentation_V11_large_300_train_300 wrench Detection preview by Segmentation_v8_large_300_train_300
Original Image: P08531.jpg
GT: knife, scissors
knife, scissor Detection preview by Box_v11_medium_train_SIXray_OPIXray No objects detected Detection preview by DN_Medium_300_yolov8m_20t7_new scissor Detection preview by Segmentatation_v8_medium_train_250 scissor Detection preview by Segmentation_V11_large_300_train_300 scissor Detection preview by Segmentation_v8_large_300_train_300
Original Image: P08532.jpg
GT: knife, scissors
knife, scissor Detection preview by Box_v11_medium_train_SIXray_OPIXray No objects detected Detection preview by DN_Medium_300_yolov8m_20t7_new scissor Detection preview by Segmentatation_v8_medium_train_250 scissor Detection preview by Segmentation_V11_large_300_train_300 scissor Detection preview by Segmentation_v8_large_300_train_300
Original Image: P08533.jpg
GT: pliers
pliers Detection preview by Box_v11_medium_train_SIXray_OPIXray No objects detected Detection preview by DN_Medium_300_yolov8m_20t7_new No objects detected Detection preview by Segmentatation_v8_medium_train_250 No objects detected Detection preview by Segmentation_V11_large_300_train_300 No objects detected Detection preview by Segmentation_v8_large_300_train_300
Original Image: P08534.jpg
GT: scissors
scissor Detection preview by Box_v11_medium_train_SIXray_OPIXray scissor Detection preview by DN_Medium_300_yolov8m_20t7_new scissor Detection preview by Segmentatation_v8_medium_train_250 scissor Detection preview by Segmentation_V11_large_300_train_300 scissor Detection preview by Segmentation_v8_large_300_train_300
Original Image: P08535.jpg
GT: scissors
scissor Detection preview by Box_v11_medium_train_SIXray_OPIXray No objects detected Detection preview by DN_Medium_300_yolov8m_20t7_new scissor Detection preview by Segmentatation_v8_medium_train_250 scissor Detection preview by Segmentation_V11_large_300_train_300 scissor Detection preview by Segmentation_v8_large_300_train_300
Original Image: P08536.jpg
GT: pliers, wrench
pliers, wrench Detection preview by Box_v11_medium_train_SIXray_OPIXray pliers Detection preview by DN_Medium_300_yolov8m_20t7_new wrench Detection preview by Segmentatation_v8_medium_train_250 wrench Detection preview by Segmentation_V11_large_300_train_300 wrench Detection preview by Segmentation_v8_large_300_train_300
Original Image: P08537.jpg
GT: pliers, wrench
pliers, wrench Detection preview by Box_v11_medium_train_SIXray_OPIXray pliers Detection preview by DN_Medium_300_yolov8m_20t7_new wrench Detection preview by Segmentatation_v8_medium_train_250 wrench Detection preview by Segmentation_V11_large_300_train_300 wrench Detection preview by Segmentation_v8_large_300_train_300
Original Image: P08538.jpg
GT: pliers
pliers Detection preview by Box_v11_medium_train_SIXray_OPIXray No objects detected Detection preview by DN_Medium_300_yolov8m_20t7_new No objects detected Detection preview by Segmentatation_v8_medium_train_250 No objects detected Detection preview by Segmentation_V11_large_300_train_300 No objects detected Detection preview by Segmentation_v8_large_300_train_300
Original Image: P08539.jpg
GT: wrench
wrench Detection preview by Box_v11_medium_train_SIXray_OPIXray No objects detected Detection preview by DN_Medium_300_yolov8m_20t7_new wrench Detection preview by Segmentatation_v8_medium_train_250 wrench Detection preview by Segmentation_V11_large_300_train_300 wrench Detection preview by Segmentation_v8_large_300_train_300
Original Image: P08540.jpg
GT: wrench
wrench Detection preview by Box_v11_medium_train_SIXray_OPIXray No objects detected Detection preview by DN_Medium_300_yolov8m_20t7_new wrench Detection preview by Segmentatation_v8_medium_train_250 wrench Detection preview by Segmentation_V11_large_300_train_300 wrench Detection preview by Segmentation_v8_large_300_train_300
Original Image: P08541.jpg
GT: scissors
scissor Detection preview by Box_v11_medium_train_SIXray_OPIXray No objects detected Detection preview by DN_Medium_300_yolov8m_20t7_new scissor Detection preview by Segmentatation_v8_medium_train_250 scissor Detection preview by Segmentation_V11_large_300_train_300 scissor Detection preview by Segmentation_v8_large_300_train_300
Original Image: P08542.jpg
GT: pliers
pliers Detection preview by Box_v11_medium_train_SIXray_OPIXray No objects detected Detection preview by DN_Medium_300_yolov8m_20t7_new No objects detected Detection preview by Segmentatation_v8_medium_train_250 No objects detected Detection preview by Segmentation_V11_large_300_train_300 No objects detected Detection preview by Segmentation_v8_large_300_train_300
Original Image: P08543.jpg
GT: pliers
pliers Detection preview by Box_v11_medium_train_SIXray_OPIXray No objects detected Detection preview by DN_Medium_300_yolov8m_20t7_new No objects detected Detection preview by Segmentatation_v8_medium_train_250 No objects detected Detection preview by Segmentation_V11_large_300_train_300 No objects detected Detection preview by Segmentation_v8_large_300_train_300
Original Image: P08544.jpg
GT: pliers
pliers Detection preview by Box_v11_medium_train_SIXray_OPIXray No objects detected Detection preview by DN_Medium_300_yolov8m_20t7_new No objects detected Detection preview by Segmentatation_v8_medium_train_250 No objects detected Detection preview by Segmentation_V11_large_300_train_300 No objects detected Detection preview by Segmentation_v8_large_300_train_300
Original Image: P08545.jpg
GT: pliers
pliers Detection preview by Box_v11_medium_train_SIXray_OPIXray No objects detected Detection preview by DN_Medium_300_yolov8m_20t7_new No objects detected Detection preview by Segmentatation_v8_medium_train_250 No objects detected Detection preview by Segmentation_V11_large_300_train_300 No objects detected Detection preview by Segmentation_v8_large_300_train_300
Original Image: P08546.jpg
GT: pliers
pliers Detection preview by Box_v11_medium_train_SIXray_OPIXray No objects detected Detection preview by DN_Medium_300_yolov8m_20t7_new No objects detected Detection preview by Segmentatation_v8_medium_train_250 No objects detected Detection preview by Segmentation_V11_large_300_train_300 No objects detected Detection preview by Segmentation_v8_large_300_train_300
Original Image: P08547.jpg
GT: pliers
pliers Detection preview by Box_v11_medium_train_SIXray_OPIXray No objects detected Detection preview by DN_Medium_300_yolov8m_20t7_new No objects detected Detection preview by Segmentatation_v8_medium_train_250 No objects detected Detection preview by Segmentation_V11_large_300_train_300 No objects detected Detection preview by Segmentation_v8_large_300_train_300
Original Image: P08548.jpg
GT: pliers
pliers Detection preview by Box_v11_medium_train_SIXray_OPIXray No objects detected Detection preview by DN_Medium_300_yolov8m_20t7_new No objects detected Detection preview by Segmentatation_v8_medium_train_250 No objects detected Detection preview by Segmentation_V11_large_300_train_300 No objects detected Detection preview by Segmentation_v8_large_300_train_300
Original Image: P08549.jpg
GT: scissors
scissor Detection preview by Box_v11_medium_train_SIXray_OPIXray No objects detected Detection preview by DN_Medium_300_yolov8m_20t7_new scissor Detection preview by Segmentatation_v8_medium_train_250 scissor Detection preview by Segmentation_V11_large_300_train_300 scissor Detection preview by Segmentation_v8_large_300_train_300
Original Image: P08550.jpg
GT: pliers
pliers Detection preview by Box_v11_medium_train_SIXray_OPIXray No objects detected Detection preview by DN_Medium_300_yolov8m_20t7_new No objects detected Detection preview by Segmentatation_v8_medium_train_250 No objects detected Detection preview by Segmentation_V11_large_300_train_300 No objects detected Detection preview by Segmentation_v8_large_300_train_300
Original Image: P08551.jpg
GT: pliers
pliers Detection preview by Box_v11_medium_train_SIXray_OPIXray No objects detected Detection preview by DN_Medium_300_yolov8m_20t7_new No objects detected Detection preview by Segmentatation_v8_medium_train_250 No objects detected Detection preview by Segmentation_V11_large_300_train_300 No objects detected Detection preview by Segmentation_v8_large_300_train_300
Original Image: P08552.jpg
GT: pliers
pliers Detection preview by Box_v11_medium_train_SIXray_OPIXray pliers Detection preview by DN_Medium_300_yolov8m_20t7_new No objects detected Detection preview by Segmentatation_v8_medium_train_250 No objects detected Detection preview by Segmentation_V11_large_300_train_300 No objects detected Detection preview by Segmentation_v8_large_300_train_300
Original Image: P08553.jpg
GT: pliers
pliers Detection preview by Box_v11_medium_train_SIXray_OPIXray pliers Detection preview by DN_Medium_300_yolov8m_20t7_new No objects detected Detection preview by Segmentatation_v8_medium_train_250 No objects detected Detection preview by Segmentation_V11_large_300_train_300 No objects detected Detection preview by Segmentation_v8_large_300_train_300
Original Image: P08554.jpg
GT: scissors
scissor Detection preview by Box_v11_medium_train_SIXray_OPIXray No objects detected Detection preview by DN_Medium_300_yolov8m_20t7_new scissor Detection preview by Segmentatation_v8_medium_train_250 scissor Detection preview by Segmentation_V11_large_300_train_300 scissor Detection preview by Segmentation_v8_large_300_train_300
Original Image: P08555.jpg
GT: scissors
scissor Detection preview by Box_v11_medium_train_SIXray_OPIXray No objects detected Detection preview by DN_Medium_300_yolov8m_20t7_new scissor Detection preview by Segmentatation_v8_medium_train_250 scissor Detection preview by Segmentation_V11_large_300_train_300 scissor Detection preview by Segmentation_v8_large_300_train_300
Original Image: P08556.jpg
GT: scissors
scissor Detection preview by Box_v11_medium_train_SIXray_OPIXray scissor Detection preview by DN_Medium_300_yolov8m_20t7_new scissor Detection preview by Segmentatation_v8_medium_train_250 scissor Detection preview by Segmentation_V11_large_300_train_300 scissor Detection preview by Segmentation_v8_large_300_train_300
Original Image: P08557.jpg
GT: scissors
scissor Detection preview by Box_v11_medium_train_SIXray_OPIXray scissor Detection preview by DN_Medium_300_yolov8m_20t7_new scissor Detection preview by Segmentatation_v8_medium_train_250 scissor Detection preview by Segmentation_V11_large_300_train_300 scissor Detection preview by Segmentation_v8_large_300_train_300
Original Image: P08558.jpg
GT: scissors
scissor Detection preview by Box_v11_medium_train_SIXray_OPIXray No objects detected Detection preview by DN_Medium_300_yolov8m_20t7_new scissor Detection preview by Segmentatation_v8_medium_train_250 scissor Detection preview by Segmentation_V11_large_300_train_300 scissor Detection preview by Segmentation_v8_large_300_train_300
Original Image: P08559.jpg
GT: pliers
pliers Detection preview by Box_v11_medium_train_SIXray_OPIXray No objects detected Detection preview by DN_Medium_300_yolov8m_20t7_new No objects detected Detection preview by Segmentatation_v8_medium_train_250 No objects detected Detection preview by Segmentation_V11_large_300_train_300 scissor Detection preview by Segmentation_v8_large_300_train_300
Original Image: P08560.jpg
GT: pliers
pliers Detection preview by Box_v11_medium_train_SIXray_OPIXray No objects detected Detection preview by DN_Medium_300_yolov8m_20t7_new No objects detected Detection preview by Segmentatation_v8_medium_train_250 No objects detected Detection preview by Segmentation_V11_large_300_train_300 No objects detected Detection preview by Segmentation_v8_large_300_train_300
Original Image: P08561.jpg
GT: pliers
pliers Detection preview by Box_v11_medium_train_SIXray_OPIXray No objects detected Detection preview by DN_Medium_300_yolov8m_20t7_new No objects detected Detection preview by Segmentatation_v8_medium_train_250 No objects detected Detection preview by Segmentation_V11_large_300_train_300 No objects detected Detection preview by Segmentation_v8_large_300_train_300
Original Image: P08562.jpg
GT: pliers
pliers Detection preview by Box_v11_medium_train_SIXray_OPIXray No objects detected Detection preview by DN_Medium_300_yolov8m_20t7_new No objects detected Detection preview by Segmentatation_v8_medium_train_250 No objects detected Detection preview by Segmentation_V11_large_300_train_300 scissor Detection preview by Segmentation_v8_large_300_train_300
Original Image: P08563.jpg
GT: scissors
scissor Detection preview by Box_v11_medium_train_SIXray_OPIXray scissor Detection preview by DN_Medium_300_yolov8m_20t7_new scissor Detection preview by Segmentatation_v8_medium_train_250 scissor Detection preview by Segmentation_V11_large_300_train_300 scissor Detection preview by Segmentation_v8_large_300_train_300
Original Image: P08564.jpg
GT: scissors
scissor Detection preview by Box_v11_medium_train_SIXray_OPIXray scissor Detection preview by DN_Medium_300_yolov8m_20t7_new scissor Detection preview by Segmentatation_v8_medium_train_250 scissor Detection preview by Segmentation_V11_large_300_train_300 scissor Detection preview by Segmentation_v8_large_300_train_300
Original Image: P08565.jpg
GT: scissors
scissor Detection preview by Box_v11_medium_train_SIXray_OPIXray scissor Detection preview by DN_Medium_300_yolov8m_20t7_new scissor Detection preview by Segmentatation_v8_medium_train_250 scissor Detection preview by Segmentation_V11_large_300_train_300 scissor Detection preview by Segmentation_v8_large_300_train_300
Original Image: P08566.jpg
GT: scissors
scissor Detection preview by Box_v11_medium_train_SIXray_OPIXray No objects detected Detection preview by DN_Medium_300_yolov8m_20t7_new scissor Detection preview by Segmentatation_v8_medium_train_250 scissor Detection preview by Segmentation_V11_large_300_train_300 scissor Detection preview by Segmentation_v8_large_300_train_300
Original Image: P08567.jpg
GT: pliers
pliers Detection preview by Box_v11_medium_train_SIXray_OPIXray No objects detected Detection preview by DN_Medium_300_yolov8m_20t7_new No objects detected Detection preview by Segmentatation_v8_medium_train_250 No objects detected Detection preview by Segmentation_V11_large_300_train_300 No objects detected Detection preview by Segmentation_v8_large_300_train_300
Original Image: P08568.jpg
GT: pliers
pliers Detection preview by Box_v11_medium_train_SIXray_OPIXray No objects detected Detection preview by DN_Medium_300_yolov8m_20t7_new No objects detected Detection preview by Segmentatation_v8_medium_train_250 No objects detected Detection preview by Segmentation_V11_large_300_train_300 No objects detected Detection preview by Segmentation_v8_large_300_train_300
Original Image: P08569.jpg
GT: pliers
pliers Detection preview by Box_v11_medium_train_SIXray_OPIXray No objects detected Detection preview by DN_Medium_300_yolov8m_20t7_new No objects detected Detection preview by Segmentatation_v8_medium_train_250 No objects detected Detection preview by Segmentation_V11_large_300_train_300 No objects detected Detection preview by Segmentation_v8_large_300_train_300
Original Image: P08570.jpg
GT: pliers
pliers Detection preview by Box_v11_medium_train_SIXray_OPIXray No objects detected Detection preview by DN_Medium_300_yolov8m_20t7_new No objects detected Detection preview by Segmentatation_v8_medium_train_250 No objects detected Detection preview by Segmentation_V11_large_300_train_300 No objects detected Detection preview by Segmentation_v8_large_300_train_300
Original Image: P08571.jpg
GT: pliers
pliers Detection preview by Box_v11_medium_train_SIXray_OPIXray No objects detected Detection preview by DN_Medium_300_yolov8m_20t7_new No objects detected Detection preview by Segmentatation_v8_medium_train_250 No objects detected Detection preview by Segmentation_V11_large_300_train_300 No objects detected Detection preview by Segmentation_v8_large_300_train_300
Original Image: P08572.jpg
GT: pliers
pliers Detection preview by Box_v11_medium_train_SIXray_OPIXray No objects detected Detection preview by DN_Medium_300_yolov8m_20t7_new No objects detected Detection preview by Segmentatation_v8_medium_train_250 No objects detected Detection preview by Segmentation_V11_large_300_train_300 No objects detected Detection preview by Segmentation_v8_large_300_train_300
Original Image: P08573.jpg
GT: pliers
pliers Detection preview by Box_v11_medium_train_SIXray_OPIXray No objects detected Detection preview by DN_Medium_300_yolov8m_20t7_new No objects detected Detection preview by Segmentatation_v8_medium_train_250 No objects detected Detection preview by Segmentation_V11_large_300_train_300 No objects detected Detection preview by Segmentation_v8_large_300_train_300
Original Image: P08574.jpg
GT: pliers
pliers Detection preview by Box_v11_medium_train_SIXray_OPIXray No objects detected Detection preview by DN_Medium_300_yolov8m_20t7_new No objects detected Detection preview by Segmentatation_v8_medium_train_250 No objects detected Detection preview by Segmentation_V11_large_300_train_300 No objects detected Detection preview by Segmentation_v8_large_300_train_300
Original Image: P08575.jpg
GT: pliers
pliers Detection preview by Box_v11_medium_train_SIXray_OPIXray No objects detected Detection preview by DN_Medium_300_yolov8m_20t7_new No objects detected Detection preview by Segmentatation_v8_medium_train_250 No objects detected Detection preview by Segmentation_V11_large_300_train_300 No objects detected Detection preview by Segmentation_v8_large_300_train_300
Original Image: P08576.jpg
GT: pliers
pliers Detection preview by Box_v11_medium_train_SIXray_OPIXray No objects detected Detection preview by DN_Medium_300_yolov8m_20t7_new No objects detected Detection preview by Segmentatation_v8_medium_train_250 No objects detected Detection preview by Segmentation_V11_large_300_train_300 No objects detected Detection preview by Segmentation_v8_large_300_train_300
Original Image: P08577.jpg
GT: scissors
scissor Detection preview by Box_v11_medium_train_SIXray_OPIXray No objects detected Detection preview by DN_Medium_300_yolov8m_20t7_new scissor Detection preview by Segmentatation_v8_medium_train_250 scissor Detection preview by Segmentation_V11_large_300_train_300 scissor Detection preview by Segmentation_v8_large_300_train_300
Original Image: P08578.jpg
GT: scissors
scissor Detection preview by Box_v11_medium_train_SIXray_OPIXray No objects detected Detection preview by DN_Medium_300_yolov8m_20t7_new scissor Detection preview by Segmentatation_v8_medium_train_250 scissor Detection preview by Segmentation_V11_large_300_train_300 scissor Detection preview by Segmentation_v8_large_300_train_300
Original Image: P08579.jpg
GT: scissors
scissor Detection preview by Box_v11_medium_train_SIXray_OPIXray No objects detected Detection preview by DN_Medium_300_yolov8m_20t7_new scissor Detection preview by Segmentatation_v8_medium_train_250 scissor Detection preview by Segmentation_V11_large_300_train_300 scissor Detection preview by Segmentation_v8_large_300_train_300
Original Image: P08580.jpg
GT: pliers
pliers Detection preview by Box_v11_medium_train_SIXray_OPIXray pliers Detection preview by DN_Medium_300_yolov8m_20t7_new No objects detected Detection preview by Segmentatation_v8_medium_train_250 No objects detected Detection preview by Segmentation_V11_large_300_train_300 No objects detected Detection preview by Segmentation_v8_large_300_train_300
Original Image: P08581.jpg
GT: pliers
pliers Detection preview by Box_v11_medium_train_SIXray_OPIXray pliers Detection preview by DN_Medium_300_yolov8m_20t7_new No objects detected Detection preview by Segmentatation_v8_medium_train_250 No objects detected Detection preview by Segmentation_V11_large_300_train_300 No objects detected Detection preview by Segmentation_v8_large_300_train_300
Original Image: P08582.jpg
GT: pliers, wrench
pliers, wrench Detection preview by Box_v11_medium_train_SIXray_OPIXray No objects detected Detection preview by DN_Medium_300_yolov8m_20t7_new wrench Detection preview by Segmentatation_v8_medium_train_250 wrench Detection preview by Segmentation_V11_large_300_train_300 wrench Detection preview by Segmentation_v8_large_300_train_300
Original Image: P08583.jpg
GT: pliers, scissors, wrench
pliers, scissor, wrench Detection preview by Box_v11_medium_train_SIXray_OPIXray knife, scissor Detection preview by DN_Medium_300_yolov8m_20t7_new scissor, wrench Detection preview by Segmentatation_v8_medium_train_250 scissor, wrench Detection preview by Segmentation_V11_large_300_train_300 scissor, wrench Detection preview by Segmentation_v8_large_300_train_300
Original Image: P08584.jpg
GT: pliers, scissors, wrench
pliers, scissor, wrench Detection preview by Box_v11_medium_train_SIXray_OPIXray knife Detection preview by DN_Medium_300_yolov8m_20t7_new scissor, wrench Detection preview by Segmentatation_v8_medium_train_250 scissor, wrench Detection preview by Segmentation_V11_large_300_train_300 scissor, wrench Detection preview by Segmentation_v8_large_300_train_300
Original Image: P08585.jpg
GT: pliers
pliers Detection preview by Box_v11_medium_train_SIXray_OPIXray No objects detected Detection preview by DN_Medium_300_yolov8m_20t7_new No objects detected Detection preview by Segmentatation_v8_medium_train_250 No objects detected Detection preview by Segmentation_V11_large_300_train_300 No objects detected Detection preview by Segmentation_v8_large_300_train_300
Original Image: P08586.jpg
GT: pliers
pliers Detection preview by Box_v11_medium_train_SIXray_OPIXray No objects detected Detection preview by DN_Medium_300_yolov8m_20t7_new No objects detected Detection preview by Segmentatation_v8_medium_train_250 No objects detected Detection preview by Segmentation_V11_large_300_train_300 No objects detected Detection preview by Segmentation_v8_large_300_train_300
Original Image: P08587.jpg
GT: pliers
pliers Detection preview by Box_v11_medium_train_SIXray_OPIXray No objects detected Detection preview by DN_Medium_300_yolov8m_20t7_new No objects detected Detection preview by Segmentatation_v8_medium_train_250 No objects detected Detection preview by Segmentation_V11_large_300_train_300 No objects detected Detection preview by Segmentation_v8_large_300_train_300
Original Image: P08588.jpg
GT: pliers
pliers Detection preview by Box_v11_medium_train_SIXray_OPIXray No objects detected Detection preview by DN_Medium_300_yolov8m_20t7_new No objects detected Detection preview by Segmentatation_v8_medium_train_250 No objects detected Detection preview by Segmentation_V11_large_300_train_300 No objects detected Detection preview by Segmentation_v8_large_300_train_300
Original Image: P08589.jpg
GT: pliers, wrench
pliers, wrench Detection preview by Box_v11_medium_train_SIXray_OPIXray No objects detected Detection preview by DN_Medium_300_yolov8m_20t7_new wrench Detection preview by Segmentatation_v8_medium_train_250 wrench Detection preview by Segmentation_V11_large_300_train_300 wrench Detection preview by Segmentation_v8_large_300_train_300
Original Image: P08590.jpg
GT: pliers, wrench
pliers, wrench Detection preview by Box_v11_medium_train_SIXray_OPIXray No objects detected Detection preview by DN_Medium_300_yolov8m_20t7_new wrench Detection preview by Segmentatation_v8_medium_train_250 wrench Detection preview by Segmentation_V11_large_300_train_300 wrench Detection preview by Segmentation_v8_large_300_train_300
Original Image: P08591.jpg
GT: scissors
scissor Detection preview by Box_v11_medium_train_SIXray_OPIXray No objects detected Detection preview by DN_Medium_300_yolov8m_20t7_new scissor Detection preview by Segmentatation_v8_medium_train_250 scissor Detection preview by Segmentation_V11_large_300_train_300 scissor Detection preview by Segmentation_v8_large_300_train_300
Original Image: P08592.jpg
GT: scissors
scissor Detection preview by Box_v11_medium_train_SIXray_OPIXray No objects detected Detection preview by DN_Medium_300_yolov8m_20t7_new scissor Detection preview by Segmentatation_v8_medium_train_250 scissor Detection preview by Segmentation_V11_large_300_train_300 scissor Detection preview by Segmentation_v8_large_300_train_300
Original Image: P08593.jpg
GT: scissors
scissor Detection preview by Box_v11_medium_train_SIXray_OPIXray No objects detected Detection preview by DN_Medium_300_yolov8m_20t7_new scissor Detection preview by Segmentatation_v8_medium_train_250 scissor Detection preview by Segmentation_V11_large_300_train_300 scissor Detection preview by Segmentation_v8_large_300_train_300
Original Image: P08594.jpg
GT: pliers, wrench
pliers, wrench Detection preview by Box_v11_medium_train_SIXray_OPIXray No objects detected Detection preview by DN_Medium_300_yolov8m_20t7_new wrench Detection preview by Segmentatation_v8_medium_train_250 wrench Detection preview by Segmentation_V11_large_300_train_300 wrench Detection preview by Segmentation_v8_large_300_train_300
Original Image: P08595.jpg
GT: pliers, wrench
pliers, wrench Detection preview by Box_v11_medium_train_SIXray_OPIXray pliers Detection preview by DN_Medium_300_yolov8m_20t7_new wrench Detection preview by Segmentatation_v8_medium_train_250 wrench Detection preview by Segmentation_V11_large_300_train_300 wrench Detection preview by Segmentation_v8_large_300_train_300
Original Image: P08596.jpg
GT: pliers, wrench
pliers, wrench Detection preview by Box_v11_medium_train_SIXray_OPIXray No objects detected Detection preview by DN_Medium_300_yolov8m_20t7_new wrench Detection preview by Segmentatation_v8_medium_train_250 wrench Detection preview by Segmentation_V11_large_300_train_300 wrench Detection preview by Segmentation_v8_large_300_train_300
Original Image: P08597.jpg
GT: pliers, wrench
pliers, wrench Detection preview by Box_v11_medium_train_SIXray_OPIXray pliers Detection preview by DN_Medium_300_yolov8m_20t7_new wrench Detection preview by Segmentatation_v8_medium_train_250 wrench Detection preview by Segmentation_V11_large_300_train_300 wrench Detection preview by Segmentation_v8_large_300_train_300
Original Image: P08598.jpg
GT: scissors
scissor Detection preview by Box_v11_medium_train_SIXray_OPIXray scissor Detection preview by DN_Medium_300_yolov8m_20t7_new scissor Detection preview by Segmentatation_v8_medium_train_250 scissor Detection preview by Segmentation_V11_large_300_train_300 scissor Detection preview by Segmentation_v8_large_300_train_300
Original Image: P08599.jpg
GT: wrench
wrench Detection preview by Box_v11_medium_train_SIXray_OPIXray No objects detected Detection preview by DN_Medium_300_yolov8m_20t7_new wrench Detection preview by Segmentatation_v8_medium_train_250 wrench Detection preview by Segmentation_V11_large_300_train_300 wrench Detection preview by Segmentation_v8_large_300_train_300
Original Image: P08600.jpg
GT: wrench
wrench Detection preview by Box_v11_medium_train_SIXray_OPIXray No objects detected Detection preview by DN_Medium_300_yolov8m_20t7_new wrench Detection preview by Segmentatation_v8_medium_train_250 wrench Detection preview by Segmentation_V11_large_300_train_300 wrench Detection preview by Segmentation_v8_large_300_train_300
Original Image: P08601.jpg
GT: wrench
wrench Detection preview by Box_v11_medium_train_SIXray_OPIXray No objects detected Detection preview by DN_Medium_300_yolov8m_20t7_new wrench Detection preview by Segmentatation_v8_medium_train_250 wrench Detection preview by Segmentation_V11_large_300_train_300 wrench Detection preview by Segmentation_v8_large_300_train_300
Original Image: P08602.jpg
GT: scissors
scissor Detection preview by Box_v11_medium_train_SIXray_OPIXray No objects detected Detection preview by DN_Medium_300_yolov8m_20t7_new scissor Detection preview by Segmentatation_v8_medium_train_250 scissor Detection preview by Segmentation_V11_large_300_train_300 scissor Detection preview by Segmentation_v8_large_300_train_300
Original Image: P08603.jpg
GT: pliers, wrench
pliers, wrench Detection preview by Box_v11_medium_train_SIXray_OPIXray No objects detected Detection preview by DN_Medium_300_yolov8m_20t7_new wrench Detection preview by Segmentatation_v8_medium_train_250 wrench Detection preview by Segmentation_V11_large_300_train_300 wrench Detection preview by Segmentation_v8_large_300_train_300
Original Image: P08604.jpg
GT: pliers, wrench
pliers, wrench Detection preview by Box_v11_medium_train_SIXray_OPIXray No objects detected Detection preview by DN_Medium_300_yolov8m_20t7_new wrench Detection preview by Segmentatation_v8_medium_train_250 wrench Detection preview by Segmentation_V11_large_300_train_300 wrench Detection preview by Segmentation_v8_large_300_train_300
Original Image: P08605.jpg
GT: pliers, wrench
pliers, wrench Detection preview by Box_v11_medium_train_SIXray_OPIXray No objects detected Detection preview by DN_Medium_300_yolov8m_20t7_new wrench Detection preview by Segmentatation_v8_medium_train_250 wrench Detection preview by Segmentation_V11_large_300_train_300 wrench Detection preview by Segmentation_v8_large_300_train_300
Original Image: P08606.jpg
GT: pliers
pliers Detection preview by Box_v11_medium_train_SIXray_OPIXray No objects detected Detection preview by DN_Medium_300_yolov8m_20t7_new No objects detected Detection preview by Segmentatation_v8_medium_train_250 No objects detected Detection preview by Segmentation_V11_large_300_train_300 No objects detected Detection preview by Segmentation_v8_large_300_train_300
Original Image: P08607.jpg
GT: pliers
pliers Detection preview by Box_v11_medium_train_SIXray_OPIXray No objects detected Detection preview by DN_Medium_300_yolov8m_20t7_new No objects detected Detection preview by Segmentatation_v8_medium_train_250 No objects detected Detection preview by Segmentation_V11_large_300_train_300 No objects detected Detection preview by Segmentation_v8_large_300_train_300
Original Image: P08608.jpg
GT: pliers
pliers Detection preview by Box_v11_medium_train_SIXray_OPIXray No objects detected Detection preview by DN_Medium_300_yolov8m_20t7_new No objects detected Detection preview by Segmentatation_v8_medium_train_250 No objects detected Detection preview by Segmentation_V11_large_300_train_300 No objects detected Detection preview by Segmentation_v8_large_300_train_300
Original Image: P08609.jpg
GT: pliers
pliers Detection preview by Box_v11_medium_train_SIXray_OPIXray No objects detected Detection preview by DN_Medium_300_yolov8m_20t7_new No objects detected Detection preview by Segmentatation_v8_medium_train_250 No objects detected Detection preview by Segmentation_V11_large_300_train_300 No objects detected Detection preview by Segmentation_v8_large_300_train_300
Original Image: P08610.jpg
GT: scissors
scissor Detection preview by Box_v11_medium_train_SIXray_OPIXray No objects detected Detection preview by DN_Medium_300_yolov8m_20t7_new scissor Detection preview by Segmentatation_v8_medium_train_250 scissor Detection preview by Segmentation_V11_large_300_train_300 scissor Detection preview by Segmentation_v8_large_300_train_300
Original Image: P08611.jpg
GT: pliers
pliers Detection preview by Box_v11_medium_train_SIXray_OPIXray No objects detected Detection preview by DN_Medium_300_yolov8m_20t7_new No objects detected Detection preview by Segmentatation_v8_medium_train_250 No objects detected Detection preview by Segmentation_V11_large_300_train_300 No objects detected Detection preview by Segmentation_v8_large_300_train_300
Original Image: P08612.jpg
GT: pliers
pliers Detection preview by Box_v11_medium_train_SIXray_OPIXray No objects detected Detection preview by DN_Medium_300_yolov8m_20t7_new No objects detected Detection preview by Segmentatation_v8_medium_train_250 No objects detected Detection preview by Segmentation_V11_large_300_train_300 No objects detected Detection preview by Segmentation_v8_large_300_train_300
Original Image: P08613.jpg
GT: pliers
pliers Detection preview by Box_v11_medium_train_SIXray_OPIXray No objects detected Detection preview by DN_Medium_300_yolov8m_20t7_new No objects detected Detection preview by Segmentatation_v8_medium_train_250 No objects detected Detection preview by Segmentation_V11_large_300_train_300 No objects detected Detection preview by Segmentation_v8_large_300_train_300
Original Image: P08614.jpg
GT: pliers
pliers Detection preview by Box_v11_medium_train_SIXray_OPIXray No objects detected Detection preview by DN_Medium_300_yolov8m_20t7_new No objects detected Detection preview by Segmentatation_v8_medium_train_250 No objects detected Detection preview by Segmentation_V11_large_300_train_300 No objects detected Detection preview by Segmentation_v8_large_300_train_300
Original Image: P08615.jpg
GT: pliers
pliers Detection preview by Box_v11_medium_train_SIXray_OPIXray No objects detected Detection preview by DN_Medium_300_yolov8m_20t7_new No objects detected Detection preview by Segmentatation_v8_medium_train_250 No objects detected Detection preview by Segmentation_V11_large_300_train_300 No objects detected Detection preview by Segmentation_v8_large_300_train_300
Original Image: P08616.jpg
GT: pliers
pliers Detection preview by Box_v11_medium_train_SIXray_OPIXray No objects detected Detection preview by DN_Medium_300_yolov8m_20t7_new No objects detected Detection preview by Segmentatation_v8_medium_train_250 No objects detected Detection preview by Segmentation_V11_large_300_train_300 No objects detected Detection preview by Segmentation_v8_large_300_train_300
Original Image: P08617.jpg
GT: pliers
pliers Detection preview by Box_v11_medium_train_SIXray_OPIXray No objects detected Detection preview by DN_Medium_300_yolov8m_20t7_new No objects detected Detection preview by Segmentatation_v8_medium_train_250 No objects detected Detection preview by Segmentation_V11_large_300_train_300 No objects detected Detection preview by Segmentation_v8_large_300_train_300
Original Image: P08618.jpg
GT: pliers, wrench
pliers, wrench Detection preview by Box_v11_medium_train_SIXray_OPIXray No objects detected Detection preview by DN_Medium_300_yolov8m_20t7_new wrench Detection preview by Segmentatation_v8_medium_train_250 wrench Detection preview by Segmentation_V11_large_300_train_300 wrench Detection preview by Segmentation_v8_large_300_train_300
Original Image: P08619.jpg
GT: pliers, wrench
pliers, wrench Detection preview by Box_v11_medium_train_SIXray_OPIXray pliers Detection preview by DN_Medium_300_yolov8m_20t7_new wrench Detection preview by Segmentatation_v8_medium_train_250 wrench Detection preview by Segmentation_V11_large_300_train_300 wrench Detection preview by Segmentation_v8_large_300_train_300
Original Image: P08620.jpg
GT: pliers, wrench
pliers, wrench Detection preview by Box_v11_medium_train_SIXray_OPIXray pliers Detection preview by DN_Medium_300_yolov8m_20t7_new wrench Detection preview by Segmentatation_v8_medium_train_250 wrench Detection preview by Segmentation_V11_large_300_train_300 wrench Detection preview by Segmentation_v8_large_300_train_300
Original Image: P08621.jpg
GT: wrench
wrench Detection preview by Box_v11_medium_train_SIXray_OPIXray No objects detected Detection preview by DN_Medium_300_yolov8m_20t7_new knife, wrench Detection preview by Segmentatation_v8_medium_train_250 wrench Detection preview by Segmentation_V11_large_300_train_300 wrench Detection preview by Segmentation_v8_large_300_train_300
Original Image: P08622.jpg
GT: pliers
pliers Detection preview by Box_v11_medium_train_SIXray_OPIXray No objects detected Detection preview by DN_Medium_300_yolov8m_20t7_new No objects detected Detection preview by Segmentatation_v8_medium_train_250 No objects detected Detection preview by Segmentation_V11_large_300_train_300 No objects detected Detection preview by Segmentation_v8_large_300_train_300
Original Image: P08623.jpg
GT: pliers
pliers Detection preview by Box_v11_medium_train_SIXray_OPIXray No objects detected Detection preview by DN_Medium_300_yolov8m_20t7_new No objects detected Detection preview by Segmentatation_v8_medium_train_250 No objects detected Detection preview by Segmentation_V11_large_300_train_300 No objects detected Detection preview by Segmentation_v8_large_300_train_300
Original Image: P08624.jpg
GT: scissors
scissor Detection preview by Box_v11_medium_train_SIXray_OPIXray No objects detected Detection preview by DN_Medium_300_yolov8m_20t7_new scissor Detection preview by Segmentatation_v8_medium_train_250 scissor Detection preview by Segmentation_V11_large_300_train_300 scissor Detection preview by Segmentation_v8_large_300_train_300
Original Image: P08625.jpg
GT: scissors
scissor Detection preview by Box_v11_medium_train_SIXray_OPIXray No objects detected Detection preview by DN_Medium_300_yolov8m_20t7_new scissor Detection preview by Segmentatation_v8_medium_train_250 scissor Detection preview by Segmentation_V11_large_300_train_300 scissor Detection preview by Segmentation_v8_large_300_train_300
Original Image: P08626.jpg
GT: pliers, wrench
pliers, wrench Detection preview by Box_v11_medium_train_SIXray_OPIXray No objects detected Detection preview by DN_Medium_300_yolov8m_20t7_new wrench Detection preview by Segmentatation_v8_medium_train_250 wrench Detection preview by Segmentation_V11_large_300_train_300 wrench Detection preview by Segmentation_v8_large_300_train_300
Original Image: P08627.jpg
GT: scissors
scissor Detection preview by Box_v11_medium_train_SIXray_OPIXray scissor Detection preview by DN_Medium_300_yolov8m_20t7_new scissor Detection preview by Segmentatation_v8_medium_train_250 scissor Detection preview by Segmentation_V11_large_300_train_300 scissor Detection preview by Segmentation_v8_large_300_train_300
Original Image: P08628.jpg
GT: scissors
scissor Detection preview by Box_v11_medium_train_SIXray_OPIXray scissor Detection preview by DN_Medium_300_yolov8m_20t7_new scissor Detection preview by Segmentatation_v8_medium_train_250 scissor Detection preview by Segmentation_V11_large_300_train_300 scissor Detection preview by Segmentation_v8_large_300_train_300
Original Image: P08629.jpg
GT: scissors
scissor Detection preview by Box_v11_medium_train_SIXray_OPIXray scissor Detection preview by DN_Medium_300_yolov8m_20t7_new scissor Detection preview by Segmentatation_v8_medium_train_250 scissor Detection preview by Segmentation_V11_large_300_train_300 scissor Detection preview by Segmentation_v8_large_300_train_300
Original Image: P08630.jpg
GT: scissors
scissor Detection preview by Box_v11_medium_train_SIXray_OPIXray No objects detected Detection preview by DN_Medium_300_yolov8m_20t7_new scissor Detection preview by Segmentatation_v8_medium_train_250 scissor Detection preview by Segmentation_V11_large_300_train_300 scissor Detection preview by Segmentation_v8_large_300_train_300
Original Image: P08631.jpg
GT: scissors
scissor Detection preview by Box_v11_medium_train_SIXray_OPIXray No objects detected Detection preview by DN_Medium_300_yolov8m_20t7_new scissor Detection preview by Segmentatation_v8_medium_train_250 scissor Detection preview by Segmentation_V11_large_300_train_300 scissor Detection preview by Segmentation_v8_large_300_train_300
Original Image: P08632.jpg
GT: scissors
scissor Detection preview by Box_v11_medium_train_SIXray_OPIXray No objects detected Detection preview by DN_Medium_300_yolov8m_20t7_new scissor Detection preview by Segmentatation_v8_medium_train_250 scissor Detection preview by Segmentation_V11_large_300_train_300 scissor Detection preview by Segmentation_v8_large_300_train_300
Original Image: P08633.jpg
GT: scissors
scissor Detection preview by Box_v11_medium_train_SIXray_OPIXray No objects detected Detection preview by DN_Medium_300_yolov8m_20t7_new scissor Detection preview by Segmentatation_v8_medium_train_250 scissor Detection preview by Segmentation_V11_large_300_train_300 scissor Detection preview by Segmentation_v8_large_300_train_300
Original Image: P08634.jpg
GT: scissors
scissor Detection preview by Box_v11_medium_train_SIXray_OPIXray No objects detected Detection preview by DN_Medium_300_yolov8m_20t7_new scissor Detection preview by Segmentatation_v8_medium_train_250 scissor Detection preview by Segmentation_V11_large_300_train_300 scissor Detection preview by Segmentation_v8_large_300_train_300
Original Image: P08635.jpg
GT: scissors
scissor Detection preview by Box_v11_medium_train_SIXray_OPIXray No objects detected Detection preview by DN_Medium_300_yolov8m_20t7_new scissor Detection preview by Segmentatation_v8_medium_train_250 scissor Detection preview by Segmentation_V11_large_300_train_300 scissor Detection preview by Segmentation_v8_large_300_train_300
Original Image: P08636.jpg
GT: scissors
scissor Detection preview by Box_v11_medium_train_SIXray_OPIXray No objects detected Detection preview by DN_Medium_300_yolov8m_20t7_new scissor Detection preview by Segmentatation_v8_medium_train_250 scissor Detection preview by Segmentation_V11_large_300_train_300 scissor Detection preview by Segmentation_v8_large_300_train_300
Original Image: P08637.jpg
GT: scissors
scissor Detection preview by Box_v11_medium_train_SIXray_OPIXray No objects detected Detection preview by DN_Medium_300_yolov8m_20t7_new scissor Detection preview by Segmentatation_v8_medium_train_250 scissor Detection preview by Segmentation_V11_large_300_train_300 scissor Detection preview by Segmentation_v8_large_300_train_300
Original Image: P08638.jpg
GT: pliers
pliers Detection preview by Box_v11_medium_train_SIXray_OPIXray No objects detected Detection preview by DN_Medium_300_yolov8m_20t7_new No objects detected Detection preview by Segmentatation_v8_medium_train_250 No objects detected Detection preview by Segmentation_V11_large_300_train_300 No objects detected Detection preview by Segmentation_v8_large_300_train_300
Original Image: P08639.jpg
GT: pliers
pliers Detection preview by Box_v11_medium_train_SIXray_OPIXray No objects detected Detection preview by DN_Medium_300_yolov8m_20t7_new No objects detected Detection preview by Segmentatation_v8_medium_train_250 No objects detected Detection preview by Segmentation_V11_large_300_train_300 No objects detected Detection preview by Segmentation_v8_large_300_train_300
Original Image: P08640.jpg
GT: pliers
pliers Detection preview by Box_v11_medium_train_SIXray_OPIXray No objects detected Detection preview by DN_Medium_300_yolov8m_20t7_new No objects detected Detection preview by Segmentatation_v8_medium_train_250 No objects detected Detection preview by Segmentation_V11_large_300_train_300 No objects detected Detection preview by Segmentation_v8_large_300_train_300
Original Image: P08641.jpg
GT: pliers
pliers Detection preview by Box_v11_medium_train_SIXray_OPIXray No objects detected Detection preview by DN_Medium_300_yolov8m_20t7_new No objects detected Detection preview by Segmentatation_v8_medium_train_250 No objects detected Detection preview by Segmentation_V11_large_300_train_300 No objects detected Detection preview by Segmentation_v8_large_300_train_300
Original Image: P08642.jpg
GT: scissors
scissor Detection preview by Box_v11_medium_train_SIXray_OPIXray No objects detected Detection preview by DN_Medium_300_yolov8m_20t7_new scissor Detection preview by Segmentatation_v8_medium_train_250 scissor Detection preview by Segmentation_V11_large_300_train_300 scissor Detection preview by Segmentation_v8_large_300_train_300
Original Image: P08643.jpg
GT: scissors
scissor Detection preview by Box_v11_medium_train_SIXray_OPIXray No objects detected Detection preview by DN_Medium_300_yolov8m_20t7_new scissor Detection preview by Segmentatation_v8_medium_train_250 scissor Detection preview by Segmentation_V11_large_300_train_300 scissor Detection preview by Segmentation_v8_large_300_train_300
Original Image: P08644.jpg
GT: scissors
scissor Detection preview by Box_v11_medium_train_SIXray_OPIXray No objects detected Detection preview by DN_Medium_300_yolov8m_20t7_new scissor Detection preview by Segmentatation_v8_medium_train_250 scissor Detection preview by Segmentation_V11_large_300_train_300 scissor Detection preview by Segmentation_v8_large_300_train_300
Original Image: P08645.jpg
GT: scissors
scissor Detection preview by Box_v11_medium_train_SIXray_OPIXray No objects detected Detection preview by DN_Medium_300_yolov8m_20t7_new scissor Detection preview by Segmentatation_v8_medium_train_250 scissor Detection preview by Segmentation_V11_large_300_train_300 scissor Detection preview by Segmentation_v8_large_300_train_300
Original Image: P08646.jpg
GT: scissors
scissor Detection preview by Box_v11_medium_train_SIXray_OPIXray No objects detected Detection preview by DN_Medium_300_yolov8m_20t7_new scissor Detection preview by Segmentatation_v8_medium_train_250 scissor Detection preview by Segmentation_V11_large_300_train_300 scissor Detection preview by Segmentation_v8_large_300_train_300
Original Image: P08647.jpg
GT: scissors
scissor Detection preview by Box_v11_medium_train_SIXray_OPIXray No objects detected Detection preview by DN_Medium_300_yolov8m_20t7_new scissor Detection preview by Segmentatation_v8_medium_train_250 scissor Detection preview by Segmentation_V11_large_300_train_300 scissor Detection preview by Segmentation_v8_large_300_train_300
Original Image: P08648.jpg
GT: scissors
scissor Detection preview by Box_v11_medium_train_SIXray_OPIXray No objects detected Detection preview by DN_Medium_300_yolov8m_20t7_new scissor Detection preview by Segmentatation_v8_medium_train_250 scissor Detection preview by Segmentation_V11_large_300_train_300 scissor Detection preview by Segmentation_v8_large_300_train_300
Original Image: P08649.jpg
GT: scissors
scissor Detection preview by Box_v11_medium_train_SIXray_OPIXray No objects detected Detection preview by DN_Medium_300_yolov8m_20t7_new scissor Detection preview by Segmentatation_v8_medium_train_250 scissor Detection preview by Segmentation_V11_large_300_train_300 scissor Detection preview by Segmentation_v8_large_300_train_300
Original Image: P08650.jpg
GT: pliers
pliers Detection preview by Box_v11_medium_train_SIXray_OPIXray No objects detected Detection preview by DN_Medium_300_yolov8m_20t7_new No objects detected Detection preview by Segmentatation_v8_medium_train_250 No objects detected Detection preview by Segmentation_V11_large_300_train_300 No objects detected Detection preview by Segmentation_v8_large_300_train_300
Original Image: P08651.jpg
GT: pliers
pliers Detection preview by Box_v11_medium_train_SIXray_OPIXray No objects detected Detection preview by DN_Medium_300_yolov8m_20t7_new No objects detected Detection preview by Segmentatation_v8_medium_train_250 scissor Detection preview by Segmentation_V11_large_300_train_300 No objects detected Detection preview by Segmentation_v8_large_300_train_300
Original Image: P08652.jpg
GT: pliers
pliers Detection preview by Box_v11_medium_train_SIXray_OPIXray No objects detected Detection preview by DN_Medium_300_yolov8m_20t7_new No objects detected Detection preview by Segmentatation_v8_medium_train_250 No objects detected Detection preview by Segmentation_V11_large_300_train_300 No objects detected Detection preview by Segmentation_v8_large_300_train_300
Original Image: P08653.jpg
GT: pliers
pliers Detection preview by Box_v11_medium_train_SIXray_OPIXray No objects detected Detection preview by DN_Medium_300_yolov8m_20t7_new No objects detected Detection preview by Segmentatation_v8_medium_train_250 No objects detected Detection preview by Segmentation_V11_large_300_train_300 No objects detected Detection preview by Segmentation_v8_large_300_train_300
Original Image: P08654.jpg
GT: pliers
pliers Detection preview by Box_v11_medium_train_SIXray_OPIXray No objects detected Detection preview by DN_Medium_300_yolov8m_20t7_new No objects detected Detection preview by Segmentatation_v8_medium_train_250 scissor Detection preview by Segmentation_V11_large_300_train_300 No objects detected Detection preview by Segmentation_v8_large_300_train_300
Original Image: P08655.jpg
GT: pliers
pliers Detection preview by Box_v11_medium_train_SIXray_OPIXray No objects detected Detection preview by DN_Medium_300_yolov8m_20t7_new No objects detected Detection preview by Segmentatation_v8_medium_train_250 scissor Detection preview by Segmentation_V11_large_300_train_300 No objects detected Detection preview by Segmentation_v8_large_300_train_300
Original Image: P08656.jpg
GT: scissors
scissor Detection preview by Box_v11_medium_train_SIXray_OPIXray scissor Detection preview by DN_Medium_300_yolov8m_20t7_new scissor Detection preview by Segmentatation_v8_medium_train_250 scissor Detection preview by Segmentation_V11_large_300_train_300 scissor Detection preview by Segmentation_v8_large_300_train_300
Original Image: P08657.jpg
GT: scissors
scissor Detection preview by Box_v11_medium_train_SIXray_OPIXray scissor Detection preview by DN_Medium_300_yolov8m_20t7_new scissor Detection preview by Segmentatation_v8_medium_train_250 scissor Detection preview by Segmentation_V11_large_300_train_300 scissor Detection preview by Segmentation_v8_large_300_train_300
Original Image: P08658.jpg
GT: scissors
scissor Detection preview by Box_v11_medium_train_SIXray_OPIXray scissor Detection preview by DN_Medium_300_yolov8m_20t7_new scissor Detection preview by Segmentatation_v8_medium_train_250 scissor Detection preview by Segmentation_V11_large_300_train_300 scissor Detection preview by Segmentation_v8_large_300_train_300
Original Image: P08659.jpg
GT: scissors
scissor Detection preview by Box_v11_medium_train_SIXray_OPIXray scissor Detection preview by DN_Medium_300_yolov8m_20t7_new scissor Detection preview by Segmentatation_v8_medium_train_250 scissor Detection preview by Segmentation_V11_large_300_train_300 scissor Detection preview by Segmentation_v8_large_300_train_300
Original Image: P08660.jpg
GT: scissors
scissor Detection preview by Box_v11_medium_train_SIXray_OPIXray scissor Detection preview by DN_Medium_300_yolov8m_20t7_new scissor Detection preview by Segmentatation_v8_medium_train_250 scissor Detection preview by Segmentation_V11_large_300_train_300 scissor Detection preview by Segmentation_v8_large_300_train_300
Original Image: P08661.jpg
GT: scissors
scissor Detection preview by Box_v11_medium_train_SIXray_OPIXray No objects detected Detection preview by DN_Medium_300_yolov8m_20t7_new No objects detected Detection preview by Segmentatation_v8_medium_train_250 No objects detected Detection preview by Segmentation_V11_large_300_train_300 No objects detected Detection preview by Segmentation_v8_large_300_train_300
Original Image: P08662.jpg
GT: scissors
scissor Detection preview by Box_v11_medium_train_SIXray_OPIXray scissor Detection preview by DN_Medium_300_yolov8m_20t7_new scissor Detection preview by Segmentatation_v8_medium_train_250 scissor Detection preview by Segmentation_V11_large_300_train_300 scissor Detection preview by Segmentation_v8_large_300_train_300
Original Image: P08663.jpg
GT: scissors
scissor Detection preview by Box_v11_medium_train_SIXray_OPIXray scissor Detection preview by DN_Medium_300_yolov8m_20t7_new scissor Detection preview by Segmentatation_v8_medium_train_250 scissor Detection preview by Segmentation_V11_large_300_train_300 scissor Detection preview by Segmentation_v8_large_300_train_300
Original Image: P08664.jpg
GT: scissors
scissor Detection preview by Box_v11_medium_train_SIXray_OPIXray scissor Detection preview by DN_Medium_300_yolov8m_20t7_new scissor Detection preview by Segmentatation_v8_medium_train_250 scissor Detection preview by Segmentation_V11_large_300_train_300 scissor Detection preview by Segmentation_v8_large_300_train_300
Original Image: P08665.jpg
GT: scissors
scissor Detection preview by Box_v11_medium_train_SIXray_OPIXray scissor Detection preview by DN_Medium_300_yolov8m_20t7_new scissor Detection preview by Segmentatation_v8_medium_train_250 scissor Detection preview by Segmentation_V11_large_300_train_300 scissor Detection preview by Segmentation_v8_large_300_train_300
Original Image: P08666.jpg
GT: scissors
scissor Detection preview by Box_v11_medium_train_SIXray_OPIXray scissor Detection preview by DN_Medium_300_yolov8m_20t7_new scissor Detection preview by Segmentatation_v8_medium_train_250 scissor Detection preview by Segmentation_V11_large_300_train_300 scissor Detection preview by Segmentation_v8_large_300_train_300
Original Image: P08667.jpg
GT: wrench
wrench Detection preview by Box_v11_medium_train_SIXray_OPIXray No objects detected Detection preview by DN_Medium_300_yolov8m_20t7_new wrench Detection preview by Segmentatation_v8_medium_train_250 wrench Detection preview by Segmentation_V11_large_300_train_300 wrench Detection preview by Segmentation_v8_large_300_train_300
Original Image: P08668.jpg
GT: wrench
wrench Detection preview by Box_v11_medium_train_SIXray_OPIXray No objects detected Detection preview by DN_Medium_300_yolov8m_20t7_new wrench Detection preview by Segmentatation_v8_medium_train_250 wrench Detection preview by Segmentation_V11_large_300_train_300 wrench Detection preview by Segmentation_v8_large_300_train_300
Original Image: P08669.jpg
GT: wrench
wrench Detection preview by Box_v11_medium_train_SIXray_OPIXray No objects detected Detection preview by DN_Medium_300_yolov8m_20t7_new wrench Detection preview by Segmentatation_v8_medium_train_250 wrench Detection preview by Segmentation_V11_large_300_train_300 wrench Detection preview by Segmentation_v8_large_300_train_300
Original Image: P08670.jpg
GT: wrench
wrench Detection preview by Box_v11_medium_train_SIXray_OPIXray No objects detected Detection preview by DN_Medium_300_yolov8m_20t7_new wrench Detection preview by Segmentatation_v8_medium_train_250 wrench Detection preview by Segmentation_V11_large_300_train_300 wrench Detection preview by Segmentation_v8_large_300_train_300
Original Image: P08671.jpg
GT: pliers
pliers Detection preview by Box_v11_medium_train_SIXray_OPIXray No objects detected Detection preview by DN_Medium_300_yolov8m_20t7_new No objects detected Detection preview by Segmentatation_v8_medium_train_250 No objects detected Detection preview by Segmentation_V11_large_300_train_300 No objects detected Detection preview by Segmentation_v8_large_300_train_300
Original Image: P08672.jpg
GT: pliers
pliers Detection preview by Box_v11_medium_train_SIXray_OPIXray No objects detected Detection preview by DN_Medium_300_yolov8m_20t7_new No objects detected Detection preview by Segmentatation_v8_medium_train_250 No objects detected Detection preview by Segmentation_V11_large_300_train_300 No objects detected Detection preview by Segmentation_v8_large_300_train_300
Original Image: P08673.jpg
GT: pliers, wrench
pliers, wrench Detection preview by Box_v11_medium_train_SIXray_OPIXray No objects detected Detection preview by DN_Medium_300_yolov8m_20t7_new wrench Detection preview by Segmentatation_v8_medium_train_250 wrench Detection preview by Segmentation_V11_large_300_train_300 wrench Detection preview by Segmentation_v8_large_300_train_300
Original Image: P08674.jpg
GT: pliers, wrench
pliers, wrench Detection preview by Box_v11_medium_train_SIXray_OPIXray No objects detected Detection preview by DN_Medium_300_yolov8m_20t7_new wrench Detection preview by Segmentatation_v8_medium_train_250 wrench Detection preview by Segmentation_V11_large_300_train_300 wrench Detection preview by Segmentation_v8_large_300_train_300
Original Image: P08675.jpg
GT: pliers
pliers Detection preview by Box_v11_medium_train_SIXray_OPIXray No objects detected Detection preview by DN_Medium_300_yolov8m_20t7_new No objects detected Detection preview by Segmentatation_v8_medium_train_250 No objects detected Detection preview by Segmentation_V11_large_300_train_300 No objects detected Detection preview by Segmentation_v8_large_300_train_300
Original Image: P08676.jpg
GT: scissors
scissor Detection preview by Box_v11_medium_train_SIXray_OPIXray No objects detected Detection preview by DN_Medium_300_yolov8m_20t7_new scissor Detection preview by Segmentatation_v8_medium_train_250 scissor Detection preview by Segmentation_V11_large_300_train_300 scissor Detection preview by Segmentation_v8_large_300_train_300
Original Image: P08677.jpg
GT: scissors
scissor Detection preview by Box_v11_medium_train_SIXray_OPIXray No objects detected Detection preview by DN_Medium_300_yolov8m_20t7_new scissor Detection preview by Segmentatation_v8_medium_train_250 scissor Detection preview by Segmentation_V11_large_300_train_300 scissor Detection preview by Segmentation_v8_large_300_train_300
Original Image: P08678.jpg
GT: scissors
scissor Detection preview by Box_v11_medium_train_SIXray_OPIXray No objects detected Detection preview by DN_Medium_300_yolov8m_20t7_new scissor Detection preview by Segmentatation_v8_medium_train_250 scissor Detection preview by Segmentation_V11_large_300_train_300 scissor Detection preview by Segmentation_v8_large_300_train_300
Original Image: P08679.jpg
GT: scissors
scissor Detection preview by Box_v11_medium_train_SIXray_OPIXray No objects detected Detection preview by DN_Medium_300_yolov8m_20t7_new scissor Detection preview by Segmentatation_v8_medium_train_250 scissor Detection preview by Segmentation_V11_large_300_train_300 scissor Detection preview by Segmentation_v8_large_300_train_300
Original Image: P08680.jpg
GT: scissors
scissor Detection preview by Box_v11_medium_train_SIXray_OPIXray No objects detected Detection preview by DN_Medium_300_yolov8m_20t7_new scissor Detection preview by Segmentatation_v8_medium_train_250 scissor Detection preview by Segmentation_V11_large_300_train_300 scissor Detection preview by Segmentation_v8_large_300_train_300
Original Image: P08681.jpg
GT: scissors
scissor Detection preview by Box_v11_medium_train_SIXray_OPIXray No objects detected Detection preview by DN_Medium_300_yolov8m_20t7_new scissor Detection preview by Segmentatation_v8_medium_train_250 scissor Detection preview by Segmentation_V11_large_300_train_300 scissor Detection preview by Segmentation_v8_large_300_train_300
Original Image: P08682.jpg
GT: wrench
wrench Detection preview by Box_v11_medium_train_SIXray_OPIXray No objects detected Detection preview by DN_Medium_300_yolov8m_20t7_new wrench Detection preview by Segmentatation_v8_medium_train_250 wrench Detection preview by Segmentation_V11_large_300_train_300 wrench Detection preview by Segmentation_v8_large_300_train_300
Original Image: P08683.jpg
GT: pliers, wrench
pliers, wrench Detection preview by Box_v11_medium_train_SIXray_OPIXray No objects detected Detection preview by DN_Medium_300_yolov8m_20t7_new wrench Detection preview by Segmentatation_v8_medium_train_250 wrench Detection preview by Segmentation_V11_large_300_train_300 wrench Detection preview by Segmentation_v8_large_300_train_300
Original Image: P08684.jpg
GT: scissors
scissor Detection preview by Box_v11_medium_train_SIXray_OPIXray No objects detected Detection preview by DN_Medium_300_yolov8m_20t7_new scissor Detection preview by Segmentatation_v8_medium_train_250 scissor Detection preview by Segmentation_V11_large_300_train_300 scissor Detection preview by Segmentation_v8_large_300_train_300
Original Image: P08685.jpg
GT: scissors
scissor Detection preview by Box_v11_medium_train_SIXray_OPIXray No objects detected Detection preview by DN_Medium_300_yolov8m_20t7_new scissor Detection preview by Segmentatation_v8_medium_train_250 scissor Detection preview by Segmentation_V11_large_300_train_300 scissor Detection preview by Segmentation_v8_large_300_train_300
Original Image: P08686.jpg
GT: scissors
scissor Detection preview by Box_v11_medium_train_SIXray_OPIXray No objects detected Detection preview by DN_Medium_300_yolov8m_20t7_new scissor Detection preview by Segmentatation_v8_medium_train_250 scissor Detection preview by Segmentation_V11_large_300_train_300 scissor Detection preview by Segmentation_v8_large_300_train_300
Original Image: P08687.jpg
GT: scissors
scissor Detection preview by Box_v11_medium_train_SIXray_OPIXray No objects detected Detection preview by DN_Medium_300_yolov8m_20t7_new scissor Detection preview by Segmentatation_v8_medium_train_250 scissor Detection preview by Segmentation_V11_large_300_train_300 scissor Detection preview by Segmentation_v8_large_300_train_300
Original Image: P08688.jpg
GT: scissors
scissor Detection preview by Box_v11_medium_train_SIXray_OPIXray No objects detected Detection preview by DN_Medium_300_yolov8m_20t7_new scissor Detection preview by Segmentatation_v8_medium_train_250 scissor Detection preview by Segmentation_V11_large_300_train_300 scissor Detection preview by Segmentation_v8_large_300_train_300
Original Image: P08689.jpg
GT: pliers
pliers Detection preview by Box_v11_medium_train_SIXray_OPIXray No objects detected Detection preview by DN_Medium_300_yolov8m_20t7_new No objects detected Detection preview by Segmentatation_v8_medium_train_250 No objects detected Detection preview by Segmentation_V11_large_300_train_300 No objects detected Detection preview by Segmentation_v8_large_300_train_300
Original Image: P08690.jpg
GT: pliers
pliers Detection preview by Box_v11_medium_train_SIXray_OPIXray No objects detected Detection preview by DN_Medium_300_yolov8m_20t7_new No objects detected Detection preview by Segmentatation_v8_medium_train_250 No objects detected Detection preview by Segmentation_V11_large_300_train_300 No objects detected Detection preview by Segmentation_v8_large_300_train_300
Original Image: P08691.jpg
GT: pliers
pliers Detection preview by Box_v11_medium_train_SIXray_OPIXray No objects detected Detection preview by DN_Medium_300_yolov8m_20t7_new No objects detected Detection preview by Segmentatation_v8_medium_train_250 No objects detected Detection preview by Segmentation_V11_large_300_train_300 No objects detected Detection preview by Segmentation_v8_large_300_train_300
Original Image: P08692.jpg
GT: scissors
scissor Detection preview by Box_v11_medium_train_SIXray_OPIXray No objects detected Detection preview by DN_Medium_300_yolov8m_20t7_new scissor Detection preview by Segmentatation_v8_medium_train_250 scissor Detection preview by Segmentation_V11_large_300_train_300 scissor Detection preview by Segmentation_v8_large_300_train_300
Original Image: P08693.jpg
GT: pliers
pliers Detection preview by Box_v11_medium_train_SIXray_OPIXray scissor Detection preview by DN_Medium_300_yolov8m_20t7_new No objects detected Detection preview by Segmentatation_v8_medium_train_250 No objects detected Detection preview by Segmentation_V11_large_300_train_300 No objects detected Detection preview by Segmentation_v8_large_300_train_300
Original Image: P08694.jpg
GT: scissors
scissor Detection preview by Box_v11_medium_train_SIXray_OPIXray No objects detected Detection preview by DN_Medium_300_yolov8m_20t7_new scissor Detection preview by Segmentatation_v8_medium_train_250 scissor Detection preview by Segmentation_V11_large_300_train_300 scissor Detection preview by Segmentation_v8_large_300_train_300
Original Image: P08695.jpg
GT: pliers
pliers Detection preview by Box_v11_medium_train_SIXray_OPIXray pliers Detection preview by DN_Medium_300_yolov8m_20t7_new No objects detected Detection preview by Segmentatation_v8_medium_train_250 No objects detected Detection preview by Segmentation_V11_large_300_train_300 No objects detected Detection preview by Segmentation_v8_large_300_train_300
Original Image: P08696.jpg
GT: pliers
pliers Detection preview by Box_v11_medium_train_SIXray_OPIXray pliers Detection preview by DN_Medium_300_yolov8m_20t7_new No objects detected Detection preview by Segmentatation_v8_medium_train_250 No objects detected Detection preview by Segmentation_V11_large_300_train_300 No objects detected Detection preview by Segmentation_v8_large_300_train_300
Original Image: P08697.jpg
GT: pliers
pliers Detection preview by Box_v11_medium_train_SIXray_OPIXray pliers Detection preview by DN_Medium_300_yolov8m_20t7_new No objects detected Detection preview by Segmentatation_v8_medium_train_250 No objects detected Detection preview by Segmentation_V11_large_300_train_300 No objects detected Detection preview by Segmentation_v8_large_300_train_300
Original Image: P08698.jpg
GT: pliers
pliers Detection preview by Box_v11_medium_train_SIXray_OPIXray pliers Detection preview by DN_Medium_300_yolov8m_20t7_new No objects detected Detection preview by Segmentatation_v8_medium_train_250 No objects detected Detection preview by Segmentation_V11_large_300_train_300 No objects detected Detection preview by Segmentation_v8_large_300_train_300
Original Image: P08699.jpg
GT: pliers
pliers Detection preview by Box_v11_medium_train_SIXray_OPIXray pliers Detection preview by DN_Medium_300_yolov8m_20t7_new No objects detected Detection preview by Segmentatation_v8_medium_train_250 No objects detected Detection preview by Segmentation_V11_large_300_train_300 No objects detected Detection preview by Segmentation_v8_large_300_train_300
Original Image: P08700.jpg
GT: scissors
scissor Detection preview by Box_v11_medium_train_SIXray_OPIXray scissor Detection preview by DN_Medium_300_yolov8m_20t7_new scissor Detection preview by Segmentatation_v8_medium_train_250 scissor Detection preview by Segmentation_V11_large_300_train_300 scissor Detection preview by Segmentation_v8_large_300_train_300
Original Image: P08701.jpg
GT: pliers
pliers Detection preview by Box_v11_medium_train_SIXray_OPIXray No objects detected Detection preview by DN_Medium_300_yolov8m_20t7_new No objects detected Detection preview by Segmentatation_v8_medium_train_250 No objects detected Detection preview by Segmentation_V11_large_300_train_300 No objects detected Detection preview by Segmentation_v8_large_300_train_300
Original Image: P08702.jpg
GT: pliers
pliers Detection preview by Box_v11_medium_train_SIXray_OPIXray No objects detected Detection preview by DN_Medium_300_yolov8m_20t7_new No objects detected Detection preview by Segmentatation_v8_medium_train_250 No objects detected Detection preview by Segmentation_V11_large_300_train_300 No objects detected Detection preview by Segmentation_v8_large_300_train_300
Original Image: P08703.jpg
GT: pliers
pliers Detection preview by Box_v11_medium_train_SIXray_OPIXray No objects detected Detection preview by DN_Medium_300_yolov8m_20t7_new No objects detected Detection preview by Segmentatation_v8_medium_train_250 No objects detected Detection preview by Segmentation_V11_large_300_train_300 No objects detected Detection preview by Segmentation_v8_large_300_train_300
Original Image: P08704.jpg
GT: pliers
pliers Detection preview by Box_v11_medium_train_SIXray_OPIXray No objects detected Detection preview by DN_Medium_300_yolov8m_20t7_new No objects detected Detection preview by Segmentatation_v8_medium_train_250 No objects detected Detection preview by Segmentation_V11_large_300_train_300 No objects detected Detection preview by Segmentation_v8_large_300_train_300
Original Image: P08705.jpg
GT: pliers
pliers Detection preview by Box_v11_medium_train_SIXray_OPIXray No objects detected Detection preview by DN_Medium_300_yolov8m_20t7_new No objects detected Detection preview by Segmentatation_v8_medium_train_250 No objects detected Detection preview by Segmentation_V11_large_300_train_300 No objects detected Detection preview by Segmentation_v8_large_300_train_300
Original Image: P08706.jpg
GT: pliers
pliers Detection preview by Box_v11_medium_train_SIXray_OPIXray No objects detected Detection preview by DN_Medium_300_yolov8m_20t7_new No objects detected Detection preview by Segmentatation_v8_medium_train_250 No objects detected Detection preview by Segmentation_V11_large_300_train_300 No objects detected Detection preview by Segmentation_v8_large_300_train_300
Original Image: P08707.jpg
GT: pliers
pliers Detection preview by Box_v11_medium_train_SIXray_OPIXray No objects detected Detection preview by DN_Medium_300_yolov8m_20t7_new No objects detected Detection preview by Segmentatation_v8_medium_train_250 No objects detected Detection preview by Segmentation_V11_large_300_train_300 No objects detected Detection preview by Segmentation_v8_large_300_train_300
Original Image: P08708.jpg
GT: pliers
pliers Detection preview by Box_v11_medium_train_SIXray_OPIXray No objects detected Detection preview by DN_Medium_300_yolov8m_20t7_new No objects detected Detection preview by Segmentatation_v8_medium_train_250 No objects detected Detection preview by Segmentation_V11_large_300_train_300 No objects detected Detection preview by Segmentation_v8_large_300_train_300
Original Image: P08709.jpg
GT: wrench
wrench Detection preview by Box_v11_medium_train_SIXray_OPIXray No objects detected Detection preview by DN_Medium_300_yolov8m_20t7_new wrench Detection preview by Segmentatation_v8_medium_train_250 wrench Detection preview by Segmentation_V11_large_300_train_300 wrench Detection preview by Segmentation_v8_large_300_train_300
Original Image: P08710.jpg
GT: pliers, scissors
pliers, scissor Detection preview by Box_v11_medium_train_SIXray_OPIXray scissor Detection preview by DN_Medium_300_yolov8m_20t7_new scissor Detection preview by Segmentatation_v8_medium_train_250 scissor Detection preview by Segmentation_V11_large_300_train_300 scissor Detection preview by Segmentation_v8_large_300_train_300
Original Image: P08711.jpg
GT: pliers
pliers Detection preview by Box_v11_medium_train_SIXray_OPIXray No objects detected Detection preview by DN_Medium_300_yolov8m_20t7_new No objects detected Detection preview by Segmentatation_v8_medium_train_250 No objects detected Detection preview by Segmentation_V11_large_300_train_300 No objects detected Detection preview by Segmentation_v8_large_300_train_300
Original Image: P08712.jpg
GT: pliers
pliers Detection preview by Box_v11_medium_train_SIXray_OPIXray No objects detected Detection preview by DN_Medium_300_yolov8m_20t7_new No objects detected Detection preview by Segmentatation_v8_medium_train_250 No objects detected Detection preview by Segmentation_V11_large_300_train_300 No objects detected Detection preview by Segmentation_v8_large_300_train_300
Original Image: P08713.jpg
GT: pliers
pliers Detection preview by Box_v11_medium_train_SIXray_OPIXray No objects detected Detection preview by DN_Medium_300_yolov8m_20t7_new No objects detected Detection preview by Segmentatation_v8_medium_train_250 No objects detected Detection preview by Segmentation_V11_large_300_train_300 No objects detected Detection preview by Segmentation_v8_large_300_train_300
Original Image: P08714.jpg
GT: pliers
pliers Detection preview by Box_v11_medium_train_SIXray_OPIXray No objects detected Detection preview by DN_Medium_300_yolov8m_20t7_new No objects detected Detection preview by Segmentatation_v8_medium_train_250 No objects detected Detection preview by Segmentation_V11_large_300_train_300 No objects detected Detection preview by Segmentation_v8_large_300_train_300
Original Image: P08715.jpg
GT: pliers
pliers Detection preview by Box_v11_medium_train_SIXray_OPIXray No objects detected Detection preview by DN_Medium_300_yolov8m_20t7_new No objects detected Detection preview by Segmentatation_v8_medium_train_250 No objects detected Detection preview by Segmentation_V11_large_300_train_300 No objects detected Detection preview by Segmentation_v8_large_300_train_300
Original Image: P08716.jpg
GT: pliers
pliers Detection preview by Box_v11_medium_train_SIXray_OPIXray pliers Detection preview by DN_Medium_300_yolov8m_20t7_new No objects detected Detection preview by Segmentatation_v8_medium_train_250 No objects detected Detection preview by Segmentation_V11_large_300_train_300 No objects detected Detection preview by Segmentation_v8_large_300_train_300
Original Image: P08717.jpg
GT: wrench
wrench Detection preview by Box_v11_medium_train_SIXray_OPIXray No objects detected Detection preview by DN_Medium_300_yolov8m_20t7_new wrench Detection preview by Segmentatation_v8_medium_train_250 wrench Detection preview by Segmentation_V11_large_300_train_300 wrench Detection preview by Segmentation_v8_large_300_train_300
Original Image: P08718.jpg
GT: scissors
scissor Detection preview by Box_v11_medium_train_SIXray_OPIXray scissor Detection preview by DN_Medium_300_yolov8m_20t7_new scissor Detection preview by Segmentatation_v8_medium_train_250 scissor Detection preview by Segmentation_V11_large_300_train_300 scissor Detection preview by Segmentation_v8_large_300_train_300
Original Image: P08719.jpg
GT: scissors
scissor Detection preview by Box_v11_medium_train_SIXray_OPIXray scissor Detection preview by DN_Medium_300_yolov8m_20t7_new scissor Detection preview by Segmentatation_v8_medium_train_250 scissor Detection preview by Segmentation_V11_large_300_train_300 scissor Detection preview by Segmentation_v8_large_300_train_300
Original Image: P08720.jpg
GT: scissors
scissor Detection preview by Box_v11_medium_train_SIXray_OPIXray No objects detected Detection preview by DN_Medium_300_yolov8m_20t7_new No objects detected Detection preview by Segmentatation_v8_medium_train_250 scissor Detection preview by Segmentation_V11_large_300_train_300 scissor Detection preview by Segmentation_v8_large_300_train_300
Original Image: P08721.jpg
GT: scissors
scissor Detection preview by Box_v11_medium_train_SIXray_OPIXray No objects detected Detection preview by DN_Medium_300_yolov8m_20t7_new scissor Detection preview by Segmentatation_v8_medium_train_250 scissor Detection preview by Segmentation_V11_large_300_train_300 scissor Detection preview by Segmentation_v8_large_300_train_300
Original Image: P08722.jpg
GT: scissors
scissor Detection preview by Box_v11_medium_train_SIXray_OPIXray No objects detected Detection preview by DN_Medium_300_yolov8m_20t7_new scissor Detection preview by Segmentatation_v8_medium_train_250 scissor Detection preview by Segmentation_V11_large_300_train_300 scissor Detection preview by Segmentation_v8_large_300_train_300
Original Image: P08723.jpg
GT: scissors
scissor Detection preview by Box_v11_medium_train_SIXray_OPIXray No objects detected Detection preview by DN_Medium_300_yolov8m_20t7_new scissor Detection preview by Segmentatation_v8_medium_train_250 scissor Detection preview by Segmentation_V11_large_300_train_300 scissor Detection preview by Segmentation_v8_large_300_train_300
Original Image: P08724.jpg
GT: scissors
scissor Detection preview by Box_v11_medium_train_SIXray_OPIXray No objects detected Detection preview by DN_Medium_300_yolov8m_20t7_new scissor Detection preview by Segmentatation_v8_medium_train_250 scissor Detection preview by Segmentation_V11_large_300_train_300 scissor Detection preview by Segmentation_v8_large_300_train_300
Original Image: P08725.jpg
GT: scissors
scissor Detection preview by Box_v11_medium_train_SIXray_OPIXray No objects detected Detection preview by DN_Medium_300_yolov8m_20t7_new scissor Detection preview by Segmentatation_v8_medium_train_250 scissor Detection preview by Segmentation_V11_large_300_train_300 scissor Detection preview by Segmentation_v8_large_300_train_300
Original Image: P08726.jpg
GT: pliers
pliers Detection preview by Box_v11_medium_train_SIXray_OPIXray No objects detected Detection preview by DN_Medium_300_yolov8m_20t7_new No objects detected Detection preview by Segmentatation_v8_medium_train_250 No objects detected Detection preview by Segmentation_V11_large_300_train_300 No objects detected Detection preview by Segmentation_v8_large_300_train_300
Original Image: P08727.jpg
GT: pliers
pliers Detection preview by Box_v11_medium_train_SIXray_OPIXray No objects detected Detection preview by DN_Medium_300_yolov8m_20t7_new No objects detected Detection preview by Segmentatation_v8_medium_train_250 No objects detected Detection preview by Segmentation_V11_large_300_train_300 No objects detected Detection preview by Segmentation_v8_large_300_train_300
Original Image: P08728.jpg
GT: pliers
pliers Detection preview by Box_v11_medium_train_SIXray_OPIXray No objects detected Detection preview by DN_Medium_300_yolov8m_20t7_new No objects detected Detection preview by Segmentatation_v8_medium_train_250 No objects detected Detection preview by Segmentation_V11_large_300_train_300 No objects detected Detection preview by Segmentation_v8_large_300_train_300
Original Image: P08729.jpg
GT: pliers
pliers Detection preview by Box_v11_medium_train_SIXray_OPIXray No objects detected Detection preview by DN_Medium_300_yolov8m_20t7_new No objects detected Detection preview by Segmentatation_v8_medium_train_250 No objects detected Detection preview by Segmentation_V11_large_300_train_300 No objects detected Detection preview by Segmentation_v8_large_300_train_300
Original Image: P08730.jpg
GT: pliers
pliers Detection preview by Box_v11_medium_train_SIXray_OPIXray No objects detected Detection preview by DN_Medium_300_yolov8m_20t7_new No objects detected Detection preview by Segmentatation_v8_medium_train_250 No objects detected Detection preview by Segmentation_V11_large_300_train_300 No objects detected Detection preview by Segmentation_v8_large_300_train_300
Original Image: P08731.jpg
GT: scissors
scissor Detection preview by Box_v11_medium_train_SIXray_OPIXray scissor Detection preview by DN_Medium_300_yolov8m_20t7_new scissor Detection preview by Segmentatation_v8_medium_train_250 scissor Detection preview by Segmentation_V11_large_300_train_300 scissor Detection preview by Segmentation_v8_large_300_train_300
Original Image: P08732.jpg
GT: pliers
pliers Detection preview by Box_v11_medium_train_SIXray_OPIXray pliers Detection preview by DN_Medium_300_yolov8m_20t7_new No objects detected Detection preview by Segmentatation_v8_medium_train_250 No objects detected Detection preview by Segmentation_V11_large_300_train_300 No objects detected Detection preview by Segmentation_v8_large_300_train_300
Original Image: P08733.jpg
GT: pliers
pliers Detection preview by Box_v11_medium_train_SIXray_OPIXray No objects detected Detection preview by DN_Medium_300_yolov8m_20t7_new No objects detected Detection preview by Segmentatation_v8_medium_train_250 No objects detected Detection preview by Segmentation_V11_large_300_train_300 No objects detected Detection preview by Segmentation_v8_large_300_train_300
Original Image: P08734.jpg
GT: pliers
pliers Detection preview by Box_v11_medium_train_SIXray_OPIXray No objects detected Detection preview by DN_Medium_300_yolov8m_20t7_new No objects detected Detection preview by Segmentatation_v8_medium_train_250 No objects detected Detection preview by Segmentation_V11_large_300_train_300 No objects detected Detection preview by Segmentation_v8_large_300_train_300
Original Image: P08735.jpg
GT: pliers
pliers Detection preview by Box_v11_medium_train_SIXray_OPIXray No objects detected Detection preview by DN_Medium_300_yolov8m_20t7_new No objects detected Detection preview by Segmentatation_v8_medium_train_250 No objects detected Detection preview by Segmentation_V11_large_300_train_300 No objects detected Detection preview by Segmentation_v8_large_300_train_300
Original Image: P08736.jpg
GT: pliers
pliers Detection preview by Box_v11_medium_train_SIXray_OPIXray No objects detected Detection preview by DN_Medium_300_yolov8m_20t7_new No objects detected Detection preview by Segmentatation_v8_medium_train_250 No objects detected Detection preview by Segmentation_V11_large_300_train_300 No objects detected Detection preview by Segmentation_v8_large_300_train_300
Original Image: P08737.jpg
GT: pliers
pliers Detection preview by Box_v11_medium_train_SIXray_OPIXray No objects detected Detection preview by DN_Medium_300_yolov8m_20t7_new No objects detected Detection preview by Segmentatation_v8_medium_train_250 No objects detected Detection preview by Segmentation_V11_large_300_train_300 No objects detected Detection preview by Segmentation_v8_large_300_train_300
Original Image: P08738.jpg
GT: pliers
pliers Detection preview by Box_v11_medium_train_SIXray_OPIXray No objects detected Detection preview by DN_Medium_300_yolov8m_20t7_new No objects detected Detection preview by Segmentatation_v8_medium_train_250 No objects detected Detection preview by Segmentation_V11_large_300_train_300 No objects detected Detection preview by Segmentation_v8_large_300_train_300
Original Image: P08739.jpg
GT: pliers
pliers Detection preview by Box_v11_medium_train_SIXray_OPIXray No objects detected Detection preview by DN_Medium_300_yolov8m_20t7_new No objects detected Detection preview by Segmentatation_v8_medium_train_250 No objects detected Detection preview by Segmentation_V11_large_300_train_300 No objects detected Detection preview by Segmentation_v8_large_300_train_300
Original Image: P08740.jpg
GT: pliers
pliers Detection preview by Box_v11_medium_train_SIXray_OPIXray No objects detected Detection preview by DN_Medium_300_yolov8m_20t7_new scissor Detection preview by Segmentatation_v8_medium_train_250 No objects detected Detection preview by Segmentation_V11_large_300_train_300 No objects detected Detection preview by Segmentation_v8_large_300_train_300
Original Image: P08741.jpg
GT: pliers
pliers Detection preview by Box_v11_medium_train_SIXray_OPIXray No objects detected Detection preview by DN_Medium_300_yolov8m_20t7_new scissor Detection preview by Segmentatation_v8_medium_train_250 No objects detected Detection preview by Segmentation_V11_large_300_train_300 No objects detected Detection preview by Segmentation_v8_large_300_train_300
Original Image: P08742.jpg
GT: pliers
pliers Detection preview by Box_v11_medium_train_SIXray_OPIXray No objects detected Detection preview by DN_Medium_300_yolov8m_20t7_new No objects detected Detection preview by Segmentatation_v8_medium_train_250 No objects detected Detection preview by Segmentation_V11_large_300_train_300 No objects detected Detection preview by Segmentation_v8_large_300_train_300
Original Image: P08743.jpg
GT: pliers
pliers Detection preview by Box_v11_medium_train_SIXray_OPIXray No objects detected Detection preview by DN_Medium_300_yolov8m_20t7_new No objects detected Detection preview by Segmentatation_v8_medium_train_250 No objects detected Detection preview by Segmentation_V11_large_300_train_300 No objects detected Detection preview by Segmentation_v8_large_300_train_300
Original Image: P08744.jpg
GT: pliers
pliers Detection preview by Box_v11_medium_train_SIXray_OPIXray No objects detected Detection preview by DN_Medium_300_yolov8m_20t7_new No objects detected Detection preview by Segmentatation_v8_medium_train_250 No objects detected Detection preview by Segmentation_V11_large_300_train_300 No objects detected Detection preview by Segmentation_v8_large_300_train_300
Original Image: P08745.jpg
GT: pliers
pliers Detection preview by Box_v11_medium_train_SIXray_OPIXray No objects detected Detection preview by DN_Medium_300_yolov8m_20t7_new No objects detected Detection preview by Segmentatation_v8_medium_train_250 No objects detected Detection preview by Segmentation_V11_large_300_train_300 No objects detected Detection preview by Segmentation_v8_large_300_train_300
Original Image: P08746.jpg
GT: pliers
pliers Detection preview by Box_v11_medium_train_SIXray_OPIXray No objects detected Detection preview by DN_Medium_300_yolov8m_20t7_new No objects detected Detection preview by Segmentatation_v8_medium_train_250 No objects detected Detection preview by Segmentation_V11_large_300_train_300 No objects detected Detection preview by Segmentation_v8_large_300_train_300
Original Image: P08747.jpg
GT: pliers
pliers Detection preview by Box_v11_medium_train_SIXray_OPIXray No objects detected Detection preview by DN_Medium_300_yolov8m_20t7_new No objects detected Detection preview by Segmentatation_v8_medium_train_250 No objects detected Detection preview by Segmentation_V11_large_300_train_300 No objects detected Detection preview by Segmentation_v8_large_300_train_300
Original Image: P08748.jpg
GT: pliers
pliers Detection preview by Box_v11_medium_train_SIXray_OPIXray No objects detected Detection preview by DN_Medium_300_yolov8m_20t7_new No objects detected Detection preview by Segmentatation_v8_medium_train_250 No objects detected Detection preview by Segmentation_V11_large_300_train_300 No objects detected Detection preview by Segmentation_v8_large_300_train_300
Original Image: P08749.jpg
GT: pliers
pliers Detection preview by Box_v11_medium_train_SIXray_OPIXray No objects detected Detection preview by DN_Medium_300_yolov8m_20t7_new No objects detected Detection preview by Segmentatation_v8_medium_train_250 No objects detected Detection preview by Segmentation_V11_large_300_train_300 No objects detected Detection preview by Segmentation_v8_large_300_train_300
Original Image: P08750.jpg
GT: pliers
pliers Detection preview by Box_v11_medium_train_SIXray_OPIXray No objects detected Detection preview by DN_Medium_300_yolov8m_20t7_new No objects detected Detection preview by Segmentatation_v8_medium_train_250 No objects detected Detection preview by Segmentation_V11_large_300_train_300 No objects detected Detection preview by Segmentation_v8_large_300_train_300
Original Image: P08751.jpg
GT: pliers
pliers Detection preview by Box_v11_medium_train_SIXray_OPIXray pliers Detection preview by DN_Medium_300_yolov8m_20t7_new No objects detected Detection preview by Segmentatation_v8_medium_train_250 No objects detected Detection preview by Segmentation_V11_large_300_train_300 No objects detected Detection preview by Segmentation_v8_large_300_train_300
Original Image: P08752.jpg
GT: pliers
pliers Detection preview by Box_v11_medium_train_SIXray_OPIXray pliers Detection preview by DN_Medium_300_yolov8m_20t7_new No objects detected Detection preview by Segmentatation_v8_medium_train_250 No objects detected Detection preview by Segmentation_V11_large_300_train_300 No objects detected Detection preview by Segmentation_v8_large_300_train_300
Original Image: P08753.jpg
GT: knife
knife Detection preview by Box_v11_medium_train_SIXray_OPIXray No objects detected Detection preview by DN_Medium_300_yolov8m_20t7_new scissor Detection preview by Segmentatation_v8_medium_train_250 scissor Detection preview by Segmentation_V11_large_300_train_300 scissor Detection preview by Segmentation_v8_large_300_train_300
Original Image: P08754.jpg
GT: knife
knife Detection preview by Box_v11_medium_train_SIXray_OPIXray No objects detected Detection preview by DN_Medium_300_yolov8m_20t7_new scissor Detection preview by Segmentatation_v8_medium_train_250 scissor Detection preview by Segmentation_V11_large_300_train_300 scissor Detection preview by Segmentation_v8_large_300_train_300
Original Image: P08755.jpg
GT: knife
knife Detection preview by Box_v11_medium_train_SIXray_OPIXray No objects detected Detection preview by DN_Medium_300_yolov8m_20t7_new scissor Detection preview by Segmentatation_v8_medium_train_250 scissor Detection preview by Segmentation_V11_large_300_train_300 scissor Detection preview by Segmentation_v8_large_300_train_300
Original Image: P08756.jpg
GT: knife
knife Detection preview by Box_v11_medium_train_SIXray_OPIXray No objects detected Detection preview by DN_Medium_300_yolov8m_20t7_new scissor Detection preview by Segmentatation_v8_medium_train_250 scissor Detection preview by Segmentation_V11_large_300_train_300 scissor Detection preview by Segmentation_v8_large_300_train_300
Original Image: P08757.jpg
GT: wrench
wrench Detection preview by Box_v11_medium_train_SIXray_OPIXray No objects detected Detection preview by DN_Medium_300_yolov8m_20t7_new wrench Detection preview by Segmentatation_v8_medium_train_250 wrench Detection preview by Segmentation_V11_large_300_train_300 wrench Detection preview by Segmentation_v8_large_300_train_300
Original Image: P08758.jpg
GT: wrench
wrench Detection preview by Box_v11_medium_train_SIXray_OPIXray No objects detected Detection preview by DN_Medium_300_yolov8m_20t7_new wrench Detection preview by Segmentatation_v8_medium_train_250 wrench Detection preview by Segmentation_V11_large_300_train_300 wrench Detection preview by Segmentation_v8_large_300_train_300
Original Image: P08759.jpg
GT: wrench
wrench Detection preview by Box_v11_medium_train_SIXray_OPIXray No objects detected Detection preview by DN_Medium_300_yolov8m_20t7_new wrench Detection preview by Segmentatation_v8_medium_train_250 wrench Detection preview by Segmentation_V11_large_300_train_300 wrench Detection preview by Segmentation_v8_large_300_train_300
Original Image: P08760.jpg
GT: pliers, wrench
pliers, wrench Detection preview by Box_v11_medium_train_SIXray_OPIXray No objects detected Detection preview by DN_Medium_300_yolov8m_20t7_new wrench Detection preview by Segmentatation_v8_medium_train_250 wrench Detection preview by Segmentation_V11_large_300_train_300 wrench Detection preview by Segmentation_v8_large_300_train_300
Original Image: P08761.jpg
GT: pliers
pliers Detection preview by Box_v11_medium_train_SIXray_OPIXray No objects detected Detection preview by DN_Medium_300_yolov8m_20t7_new No objects detected Detection preview by Segmentatation_v8_medium_train_250 No objects detected Detection preview by Segmentation_V11_large_300_train_300 No objects detected Detection preview by Segmentation_v8_large_300_train_300
Original Image: P08762.jpg
GT: pliers
pliers Detection preview by Box_v11_medium_train_SIXray_OPIXray No objects detected Detection preview by DN_Medium_300_yolov8m_20t7_new No objects detected Detection preview by Segmentatation_v8_medium_train_250 No objects detected Detection preview by Segmentation_V11_large_300_train_300 No objects detected Detection preview by Segmentation_v8_large_300_train_300
Original Image: P08763.jpg
GT: pliers
pliers Detection preview by Box_v11_medium_train_SIXray_OPIXray No objects detected Detection preview by DN_Medium_300_yolov8m_20t7_new No objects detected Detection preview by Segmentatation_v8_medium_train_250 No objects detected Detection preview by Segmentation_V11_large_300_train_300 No objects detected Detection preview by Segmentation_v8_large_300_train_300
Original Image: P08764.jpg
GT: pliers
pliers Detection preview by Box_v11_medium_train_SIXray_OPIXray No objects detected Detection preview by DN_Medium_300_yolov8m_20t7_new No objects detected Detection preview by Segmentatation_v8_medium_train_250 No objects detected Detection preview by Segmentation_V11_large_300_train_300 No objects detected Detection preview by Segmentation_v8_large_300_train_300
Original Image: P08765.jpg
GT: wrench
wrench Detection preview by Box_v11_medium_train_SIXray_OPIXray No objects detected Detection preview by DN_Medium_300_yolov8m_20t7_new wrench Detection preview by Segmentatation_v8_medium_train_250 wrench Detection preview by Segmentation_V11_large_300_train_300 wrench Detection preview by Segmentation_v8_large_300_train_300
Original Image: P08766.jpg
GT: scissors
scissor Detection preview by Box_v11_medium_train_SIXray_OPIXray No objects detected Detection preview by DN_Medium_300_yolov8m_20t7_new scissor Detection preview by Segmentatation_v8_medium_train_250 scissor Detection preview by Segmentation_V11_large_300_train_300 scissor Detection preview by Segmentation_v8_large_300_train_300
Original Image: P08767.jpg
GT: scissors
scissor Detection preview by Box_v11_medium_train_SIXray_OPIXray No objects detected Detection preview by DN_Medium_300_yolov8m_20t7_new scissor Detection preview by Segmentatation_v8_medium_train_250 scissor Detection preview by Segmentation_V11_large_300_train_300 scissor Detection preview by Segmentation_v8_large_300_train_300
Original Image: P08768.jpg
GT: scissors
scissor Detection preview by Box_v11_medium_train_SIXray_OPIXray No objects detected Detection preview by DN_Medium_300_yolov8m_20t7_new scissor Detection preview by Segmentatation_v8_medium_train_250 scissor Detection preview by Segmentation_V11_large_300_train_300 scissor Detection preview by Segmentation_v8_large_300_train_300
Original Image: P08769.jpg
GT: scissors
scissor Detection preview by Box_v11_medium_train_SIXray_OPIXray No objects detected Detection preview by DN_Medium_300_yolov8m_20t7_new scissor Detection preview by Segmentatation_v8_medium_train_250 scissor Detection preview by Segmentation_V11_large_300_train_300 scissor Detection preview by Segmentation_v8_large_300_train_300
Original Image: P08770.jpg
GT: pliers
pliers Detection preview by Box_v11_medium_train_SIXray_OPIXray pliers Detection preview by DN_Medium_300_yolov8m_20t7_new No objects detected Detection preview by Segmentatation_v8_medium_train_250 No objects detected Detection preview by Segmentation_V11_large_300_train_300 No objects detected Detection preview by Segmentation_v8_large_300_train_300
Original Image: P08771.jpg
GT: pliers
pliers Detection preview by Box_v11_medium_train_SIXray_OPIXray No objects detected Detection preview by DN_Medium_300_yolov8m_20t7_new No objects detected Detection preview by Segmentatation_v8_medium_train_250 No objects detected Detection preview by Segmentation_V11_large_300_train_300 No objects detected Detection preview by Segmentation_v8_large_300_train_300
Original Image: P08772.jpg
GT: pliers
pliers Detection preview by Box_v11_medium_train_SIXray_OPIXray No objects detected Detection preview by DN_Medium_300_yolov8m_20t7_new No objects detected Detection preview by Segmentatation_v8_medium_train_250 No objects detected Detection preview by Segmentation_V11_large_300_train_300 No objects detected Detection preview by Segmentation_v8_large_300_train_300
Original Image: P08773.jpg
GT: pliers
pliers Detection preview by Box_v11_medium_train_SIXray_OPIXray pliers Detection preview by DN_Medium_300_yolov8m_20t7_new No objects detected Detection preview by Segmentatation_v8_medium_train_250 No objects detected Detection preview by Segmentation_V11_large_300_train_300 No objects detected Detection preview by Segmentation_v8_large_300_train_300
Original Image: P08774.jpg
GT: pliers, wrench
pliers, wrench Detection preview by Box_v11_medium_train_SIXray_OPIXray No objects detected Detection preview by DN_Medium_300_yolov8m_20t7_new wrench Detection preview by Segmentatation_v8_medium_train_250 wrench Detection preview by Segmentation_V11_large_300_train_300 wrench Detection preview by Segmentation_v8_large_300_train_300
Original Image: P08775.jpg
GT: pliers, wrench
pliers, wrench Detection preview by Box_v11_medium_train_SIXray_OPIXray No objects detected Detection preview by DN_Medium_300_yolov8m_20t7_new wrench Detection preview by Segmentatation_v8_medium_train_250 wrench Detection preview by Segmentation_V11_large_300_train_300 wrench Detection preview by Segmentation_v8_large_300_train_300
Original Image: P08776.jpg
GT: pliers, wrench
pliers, wrench Detection preview by Box_v11_medium_train_SIXray_OPIXray No objects detected Detection preview by DN_Medium_300_yolov8m_20t7_new wrench Detection preview by Segmentatation_v8_medium_train_250 wrench Detection preview by Segmentation_V11_large_300_train_300 wrench Detection preview by Segmentation_v8_large_300_train_300
Original Image: P08777.jpg
GT: pliers, wrench
pliers, wrench Detection preview by Box_v11_medium_train_SIXray_OPIXray No objects detected Detection preview by DN_Medium_300_yolov8m_20t7_new wrench Detection preview by Segmentatation_v8_medium_train_250 wrench Detection preview by Segmentation_V11_large_300_train_300 wrench Detection preview by Segmentation_v8_large_300_train_300
Original Image: P08778.jpg
GT: pliers
pliers Detection preview by Box_v11_medium_train_SIXray_OPIXray pliers Detection preview by DN_Medium_300_yolov8m_20t7_new No objects detected Detection preview by Segmentatation_v8_medium_train_250 No objects detected Detection preview by Segmentation_V11_large_300_train_300 No objects detected Detection preview by Segmentation_v8_large_300_train_300
Original Image: P08779.jpg
GT: pliers
pliers Detection preview by Box_v11_medium_train_SIXray_OPIXray pliers Detection preview by DN_Medium_300_yolov8m_20t7_new No objects detected Detection preview by Segmentatation_v8_medium_train_250 No objects detected Detection preview by Segmentation_V11_large_300_train_300 No objects detected Detection preview by Segmentation_v8_large_300_train_300
Original Image: P08780.jpg
GT: pliers
pliers Detection preview by Box_v11_medium_train_SIXray_OPIXray No objects detected Detection preview by DN_Medium_300_yolov8m_20t7_new No objects detected Detection preview by Segmentatation_v8_medium_train_250 No objects detected Detection preview by Segmentation_V11_large_300_train_300 No objects detected Detection preview by Segmentation_v8_large_300_train_300
Original Image: P08781.jpg
GT: pliers
pliers Detection preview by Box_v11_medium_train_SIXray_OPIXray No objects detected Detection preview by DN_Medium_300_yolov8m_20t7_new No objects detected Detection preview by Segmentatation_v8_medium_train_250 No objects detected Detection preview by Segmentation_V11_large_300_train_300 No objects detected Detection preview by Segmentation_v8_large_300_train_300
Original Image: P08782.jpg
GT: pliers
pliers Detection preview by Box_v11_medium_train_SIXray_OPIXray No objects detected Detection preview by DN_Medium_300_yolov8m_20t7_new No objects detected Detection preview by Segmentatation_v8_medium_train_250 No objects detected Detection preview by Segmentation_V11_large_300_train_300 No objects detected Detection preview by Segmentation_v8_large_300_train_300
Original Image: P08783.jpg
GT: pliers
pliers Detection preview by Box_v11_medium_train_SIXray_OPIXray No objects detected Detection preview by DN_Medium_300_yolov8m_20t7_new No objects detected Detection preview by Segmentatation_v8_medium_train_250 No objects detected Detection preview by Segmentation_V11_large_300_train_300 No objects detected Detection preview by Segmentation_v8_large_300_train_300
Original Image: P08784.jpg
GT: pliers, wrench
pliers, wrench Detection preview by Box_v11_medium_train_SIXray_OPIXray pliers Detection preview by DN_Medium_300_yolov8m_20t7_new wrench Detection preview by Segmentatation_v8_medium_train_250 wrench Detection preview by Segmentation_V11_large_300_train_300 wrench Detection preview by Segmentation_v8_large_300_train_300
Original Image: P08785.jpg
GT: pliers, wrench
pliers, wrench Detection preview by Box_v11_medium_train_SIXray_OPIXray pliers Detection preview by DN_Medium_300_yolov8m_20t7_new wrench Detection preview by Segmentatation_v8_medium_train_250 wrench Detection preview by Segmentation_V11_large_300_train_300 wrench Detection preview by Segmentation_v8_large_300_train_300
Original Image: P08786.jpg
GT: pliers, wrench
pliers, wrench Detection preview by Box_v11_medium_train_SIXray_OPIXray pliers Detection preview by DN_Medium_300_yolov8m_20t7_new wrench Detection preview by Segmentatation_v8_medium_train_250 wrench Detection preview by Segmentation_V11_large_300_train_300 wrench Detection preview by Segmentation_v8_large_300_train_300
Original Image: P08787.jpg
GT: pliers
pliers Detection preview by Box_v11_medium_train_SIXray_OPIXray No objects detected Detection preview by DN_Medium_300_yolov8m_20t7_new No objects detected Detection preview by Segmentatation_v8_medium_train_250 No objects detected Detection preview by Segmentation_V11_large_300_train_300 No objects detected Detection preview by Segmentation_v8_large_300_train_300
Original Image: P08788.jpg
GT: pliers
pliers Detection preview by Box_v11_medium_train_SIXray_OPIXray No objects detected Detection preview by DN_Medium_300_yolov8m_20t7_new No objects detected Detection preview by Segmentatation_v8_medium_train_250 No objects detected Detection preview by Segmentation_V11_large_300_train_300 scissor Detection preview by Segmentation_v8_large_300_train_300
Original Image: P08789.jpg
GT: pliers
pliers Detection preview by Box_v11_medium_train_SIXray_OPIXray No objects detected Detection preview by DN_Medium_300_yolov8m_20t7_new No objects detected Detection preview by Segmentatation_v8_medium_train_250 No objects detected Detection preview by Segmentation_V11_large_300_train_300 scissor Detection preview by Segmentation_v8_large_300_train_300
Original Image: P08790.jpg
GT: pliers
pliers Detection preview by Box_v11_medium_train_SIXray_OPIXray No objects detected Detection preview by DN_Medium_300_yolov8m_20t7_new No objects detected Detection preview by Segmentatation_v8_medium_train_250 No objects detected Detection preview by Segmentation_V11_large_300_train_300 No objects detected Detection preview by Segmentation_v8_large_300_train_300
Original Image: P08791.jpg
GT: pliers
pliers Detection preview by Box_v11_medium_train_SIXray_OPIXray pliers Detection preview by DN_Medium_300_yolov8m_20t7_new No objects detected Detection preview by Segmentatation_v8_medium_train_250 No objects detected Detection preview by Segmentation_V11_large_300_train_300 No objects detected Detection preview by Segmentation_v8_large_300_train_300
Original Image: P08792.jpg
GT: pliers
pliers Detection preview by Box_v11_medium_train_SIXray_OPIXray pliers Detection preview by DN_Medium_300_yolov8m_20t7_new No objects detected Detection preview by Segmentatation_v8_medium_train_250 No objects detected Detection preview by Segmentation_V11_large_300_train_300 No objects detected Detection preview by Segmentation_v8_large_300_train_300
Original Image: P08793.jpg
GT: scissors
scissor Detection preview by Box_v11_medium_train_SIXray_OPIXray No objects detected Detection preview by DN_Medium_300_yolov8m_20t7_new scissor Detection preview by Segmentatation_v8_medium_train_250 scissor Detection preview by Segmentation_V11_large_300_train_300 scissor Detection preview by Segmentation_v8_large_300_train_300
Original Image: P08794.jpg
GT: scissors
scissor Detection preview by Box_v11_medium_train_SIXray_OPIXray scissor Detection preview by DN_Medium_300_yolov8m_20t7_new scissor Detection preview by Segmentatation_v8_medium_train_250 scissor Detection preview by Segmentation_V11_large_300_train_300 scissor Detection preview by Segmentation_v8_large_300_train_300
Original Image: P08795.jpg
GT: pliers
pliers Detection preview by Box_v11_medium_train_SIXray_OPIXray No objects detected Detection preview by DN_Medium_300_yolov8m_20t7_new No objects detected Detection preview by Segmentatation_v8_medium_train_250 No objects detected Detection preview by Segmentation_V11_large_300_train_300 No objects detected Detection preview by Segmentation_v8_large_300_train_300
Original Image: P08796.jpg
GT: pliers
pliers Detection preview by Box_v11_medium_train_SIXray_OPIXray pliers Detection preview by DN_Medium_300_yolov8m_20t7_new No objects detected Detection preview by Segmentatation_v8_medium_train_250 No objects detected Detection preview by Segmentation_V11_large_300_train_300 No objects detected Detection preview by Segmentation_v8_large_300_train_300
Original Image: P08797.jpg
GT: pliers
pliers Detection preview by Box_v11_medium_train_SIXray_OPIXray pliers Detection preview by DN_Medium_300_yolov8m_20t7_new No objects detected Detection preview by Segmentatation_v8_medium_train_250 No objects detected Detection preview by Segmentation_V11_large_300_train_300 No objects detected Detection preview by Segmentation_v8_large_300_train_300
Original Image: P08798.jpg
GT: pliers
pliers Detection preview by Box_v11_medium_train_SIXray_OPIXray No objects detected Detection preview by DN_Medium_300_yolov8m_20t7_new No objects detected Detection preview by Segmentatation_v8_medium_train_250 No objects detected Detection preview by Segmentation_V11_large_300_train_300 No objects detected Detection preview by Segmentation_v8_large_300_train_300
Original Image: P08799.jpg
GT: pliers
pliers Detection preview by Box_v11_medium_train_SIXray_OPIXray No objects detected Detection preview by DN_Medium_300_yolov8m_20t7_new No objects detected Detection preview by Segmentatation_v8_medium_train_250 No objects detected Detection preview by Segmentation_V11_large_300_train_300 No objects detected Detection preview by Segmentation_v8_large_300_train_300
Original Image: P08800.jpg
GT: pliers
pliers Detection preview by Box_v11_medium_train_SIXray_OPIXray No objects detected Detection preview by DN_Medium_300_yolov8m_20t7_new No objects detected Detection preview by Segmentatation_v8_medium_train_250 No objects detected Detection preview by Segmentation_V11_large_300_train_300 No objects detected Detection preview by Segmentation_v8_large_300_train_300
Original Image: P08801.jpg
GT: pliers
pliers Detection preview by Box_v11_medium_train_SIXray_OPIXray No objects detected Detection preview by DN_Medium_300_yolov8m_20t7_new No objects detected Detection preview by Segmentatation_v8_medium_train_250 No objects detected Detection preview by Segmentation_V11_large_300_train_300 No objects detected Detection preview by Segmentation_v8_large_300_train_300
Original Image: P08802.jpg
GT: pliers
pliers Detection preview by Box_v11_medium_train_SIXray_OPIXray No objects detected Detection preview by DN_Medium_300_yolov8m_20t7_new No objects detected Detection preview by Segmentatation_v8_medium_train_250 No objects detected Detection preview by Segmentation_V11_large_300_train_300 No objects detected Detection preview by Segmentation_v8_large_300_train_300
Original Image: P08803.jpg
GT: pliers
pliers Detection preview by Box_v11_medium_train_SIXray_OPIXray No objects detected Detection preview by DN_Medium_300_yolov8m_20t7_new No objects detected Detection preview by Segmentatation_v8_medium_train_250 No objects detected Detection preview by Segmentation_V11_large_300_train_300 No objects detected Detection preview by Segmentation_v8_large_300_train_300
Original Image: P08804.jpg
GT: pliers
pliers Detection preview by Box_v11_medium_train_SIXray_OPIXray No objects detected Detection preview by DN_Medium_300_yolov8m_20t7_new No objects detected Detection preview by Segmentatation_v8_medium_train_250 No objects detected Detection preview by Segmentation_V11_large_300_train_300 No objects detected Detection preview by Segmentation_v8_large_300_train_300
Original Image: P08805.jpg
GT: pliers
pliers Detection preview by Box_v11_medium_train_SIXray_OPIXray No objects detected Detection preview by DN_Medium_300_yolov8m_20t7_new No objects detected Detection preview by Segmentatation_v8_medium_train_250 No objects detected Detection preview by Segmentation_V11_large_300_train_300 No objects detected Detection preview by Segmentation_v8_large_300_train_300
Original Image: P08806.jpg
GT: pliers
pliers Detection preview by Box_v11_medium_train_SIXray_OPIXray No objects detected Detection preview by DN_Medium_300_yolov8m_20t7_new No objects detected Detection preview by Segmentatation_v8_medium_train_250 No objects detected Detection preview by Segmentation_V11_large_300_train_300 No objects detected Detection preview by Segmentation_v8_large_300_train_300
Original Image: P08807.jpg
GT: pliers
pliers Detection preview by Box_v11_medium_train_SIXray_OPIXray pliers Detection preview by DN_Medium_300_yolov8m_20t7_new No objects detected Detection preview by Segmentatation_v8_medium_train_250 No objects detected Detection preview by Segmentation_V11_large_300_train_300 No objects detected Detection preview by Segmentation_v8_large_300_train_300
Original Image: P08808.jpg
GT: pliers
pliers Detection preview by Box_v11_medium_train_SIXray_OPIXray pliers Detection preview by DN_Medium_300_yolov8m_20t7_new No objects detected Detection preview by Segmentatation_v8_medium_train_250 No objects detected Detection preview by Segmentation_V11_large_300_train_300 No objects detected Detection preview by Segmentation_v8_large_300_train_300
Original Image: P08809.jpg
GT: pliers
pliers Detection preview by Box_v11_medium_train_SIXray_OPIXray pliers Detection preview by DN_Medium_300_yolov8m_20t7_new No objects detected Detection preview by Segmentatation_v8_medium_train_250 No objects detected Detection preview by Segmentation_V11_large_300_train_300 No objects detected Detection preview by Segmentation_v8_large_300_train_300
Original Image: P08810.jpg
GT: pliers
pliers Detection preview by Box_v11_medium_train_SIXray_OPIXray pliers Detection preview by DN_Medium_300_yolov8m_20t7_new No objects detected Detection preview by Segmentatation_v8_medium_train_250 No objects detected Detection preview by Segmentation_V11_large_300_train_300 No objects detected Detection preview by Segmentation_v8_large_300_train_300
Original Image: P08811.jpg
GT: pliers, wrench
pliers, wrench Detection preview by Box_v11_medium_train_SIXray_OPIXray pliers Detection preview by DN_Medium_300_yolov8m_20t7_new wrench Detection preview by Segmentatation_v8_medium_train_250 wrench Detection preview by Segmentation_V11_large_300_train_300 wrench Detection preview by Segmentation_v8_large_300_train_300
Original Image: P08812.jpg
GT: pliers, wrench
pliers, wrench Detection preview by Box_v11_medium_train_SIXray_OPIXray pliers Detection preview by DN_Medium_300_yolov8m_20t7_new wrench Detection preview by Segmentatation_v8_medium_train_250 wrench Detection preview by Segmentation_V11_large_300_train_300 wrench Detection preview by Segmentation_v8_large_300_train_300
Original Image: P08813.jpg
GT: pliers, wrench
pliers, wrench Detection preview by Box_v11_medium_train_SIXray_OPIXray pliers Detection preview by DN_Medium_300_yolov8m_20t7_new wrench Detection preview by Segmentatation_v8_medium_train_250 wrench Detection preview by Segmentation_V11_large_300_train_300 wrench Detection preview by Segmentation_v8_large_300_train_300
Original Image: P08814.jpg
GT: pliers
pliers Detection preview by Box_v11_medium_train_SIXray_OPIXray No objects detected Detection preview by DN_Medium_300_yolov8m_20t7_new No objects detected Detection preview by Segmentatation_v8_medium_train_250 No objects detected Detection preview by Segmentation_V11_large_300_train_300 No objects detected Detection preview by Segmentation_v8_large_300_train_300
Original Image: P08815.jpg
GT: pliers
pliers Detection preview by Box_v11_medium_train_SIXray_OPIXray No objects detected Detection preview by DN_Medium_300_yolov8m_20t7_new No objects detected Detection preview by Segmentatation_v8_medium_train_250 No objects detected Detection preview by Segmentation_V11_large_300_train_300 No objects detected Detection preview by Segmentation_v8_large_300_train_300
Original Image: P08816.jpg
GT: pliers
pliers Detection preview by Box_v11_medium_train_SIXray_OPIXray No objects detected Detection preview by DN_Medium_300_yolov8m_20t7_new No objects detected Detection preview by Segmentatation_v8_medium_train_250 No objects detected Detection preview by Segmentation_V11_large_300_train_300 No objects detected Detection preview by Segmentation_v8_large_300_train_300
Original Image: P08817.jpg
GT: pliers
pliers Detection preview by Box_v11_medium_train_SIXray_OPIXray No objects detected Detection preview by DN_Medium_300_yolov8m_20t7_new No objects detected Detection preview by Segmentatation_v8_medium_train_250 No objects detected Detection preview by Segmentation_V11_large_300_train_300 No objects detected Detection preview by Segmentation_v8_large_300_train_300
Original Image: P08818.jpg
GT: pliers, wrench
pliers, wrench Detection preview by Box_v11_medium_train_SIXray_OPIXray pliers Detection preview by DN_Medium_300_yolov8m_20t7_new wrench Detection preview by Segmentatation_v8_medium_train_250 wrench Detection preview by Segmentation_V11_large_300_train_300 wrench Detection preview by Segmentation_v8_large_300_train_300
Original Image: P08819.jpg
GT: pliers, wrench
pliers, wrench Detection preview by Box_v11_medium_train_SIXray_OPIXray pliers Detection preview by DN_Medium_300_yolov8m_20t7_new wrench Detection preview by Segmentatation_v8_medium_train_250 wrench Detection preview by Segmentation_V11_large_300_train_300 wrench Detection preview by Segmentation_v8_large_300_train_300
Original Image: P08820.jpg
GT: pliers, wrench
pliers, wrench Detection preview by Box_v11_medium_train_SIXray_OPIXray pliers Detection preview by DN_Medium_300_yolov8m_20t7_new wrench Detection preview by Segmentatation_v8_medium_train_250 wrench Detection preview by Segmentation_V11_large_300_train_300 wrench Detection preview by Segmentation_v8_large_300_train_300
Original Image: P08821.jpg
GT: scissors
scissor Detection preview by Box_v11_medium_train_SIXray_OPIXray scissor Detection preview by DN_Medium_300_yolov8m_20t7_new scissor Detection preview by Segmentatation_v8_medium_train_250 scissor Detection preview by Segmentation_V11_large_300_train_300 scissor Detection preview by Segmentation_v8_large_300_train_300
Original Image: P08822.jpg
GT: scissors
scissor Detection preview by Box_v11_medium_train_SIXray_OPIXray scissor Detection preview by DN_Medium_300_yolov8m_20t7_new scissor Detection preview by Segmentatation_v8_medium_train_250 scissor Detection preview by Segmentation_V11_large_300_train_300 scissor Detection preview by Segmentation_v8_large_300_train_300
Original Image: P08823.jpg
GT: scissors
scissor Detection preview by Box_v11_medium_train_SIXray_OPIXray scissor Detection preview by DN_Medium_300_yolov8m_20t7_new scissor Detection preview by Segmentatation_v8_medium_train_250 scissor Detection preview by Segmentation_V11_large_300_train_300 scissor Detection preview by Segmentation_v8_large_300_train_300
Original Image: P08824.jpg
GT: wrench
wrench Detection preview by Box_v11_medium_train_SIXray_OPIXray No objects detected Detection preview by DN_Medium_300_yolov8m_20t7_new wrench Detection preview by Segmentatation_v8_medium_train_250 wrench Detection preview by Segmentation_V11_large_300_train_300 wrench Detection preview by Segmentation_v8_large_300_train_300
Original Image: P08825.jpg
GT: wrench
wrench Detection preview by Box_v11_medium_train_SIXray_OPIXray No objects detected Detection preview by DN_Medium_300_yolov8m_20t7_new wrench Detection preview by Segmentatation_v8_medium_train_250 wrench Detection preview by Segmentation_V11_large_300_train_300 wrench Detection preview by Segmentation_v8_large_300_train_300
Original Image: P08826.jpg
GT: pliers
pliers Detection preview by Box_v11_medium_train_SIXray_OPIXray No objects detected Detection preview by DN_Medium_300_yolov8m_20t7_new No objects detected Detection preview by Segmentatation_v8_medium_train_250 No objects detected Detection preview by Segmentation_V11_large_300_train_300 No objects detected Detection preview by Segmentation_v8_large_300_train_300
Original Image: P08827.jpg
GT: pliers
pliers Detection preview by Box_v11_medium_train_SIXray_OPIXray No objects detected Detection preview by DN_Medium_300_yolov8m_20t7_new No objects detected Detection preview by Segmentatation_v8_medium_train_250 No objects detected Detection preview by Segmentation_V11_large_300_train_300 No objects detected Detection preview by Segmentation_v8_large_300_train_300
Original Image: P08828.jpg
GT: gun
gun Detection preview by Box_v11_medium_train_SIXray_OPIXray No objects detected Detection preview by DN_Medium_300_yolov8m_20t7_new gun Detection preview by Segmentatation_v8_medium_train_250 gun Detection preview by Segmentation_V11_large_300_train_300 gun Detection preview by Segmentation_v8_large_300_train_300
Original Image: P08829.jpg
GT: gun
gun Detection preview by Box_v11_medium_train_SIXray_OPIXray No objects detected Detection preview by DN_Medium_300_yolov8m_20t7_new gun Detection preview by Segmentatation_v8_medium_train_250 gun Detection preview by Segmentation_V11_large_300_train_300 gun Detection preview by Segmentation_v8_large_300_train_300
Original Image: P08830.jpg
GT: gun
gun Detection preview by Box_v11_medium_train_SIXray_OPIXray No objects detected Detection preview by DN_Medium_300_yolov8m_20t7_new gun Detection preview by Segmentatation_v8_medium_train_250 gun Detection preview by Segmentation_V11_large_300_train_300 gun Detection preview by Segmentation_v8_large_300_train_300
Original Image: P08831.jpg
GT: gun, knife, wrench
gun, knife, wrench Detection preview by Box_v11_medium_train_SIXray_OPIXray wrench Detection preview by DN_Medium_300_yolov8m_20t7_new gun, scissor, wrench Detection preview by Segmentatation_v8_medium_train_250 gun, scissor, wrench Detection preview by Segmentation_V11_large_300_train_300 gun, scissor, wrench Detection preview by Segmentation_v8_large_300_train_300
Original Image: P08832.jpg
GT: gun
gun Detection preview by Box_v11_medium_train_SIXray_OPIXray No objects detected Detection preview by DN_Medium_300_yolov8m_20t7_new gun Detection preview by Segmentatation_v8_medium_train_250 gun Detection preview by Segmentation_V11_large_300_train_300 gun Detection preview by Segmentation_v8_large_300_train_300
Original Image: P08833.jpg
GT: gun
gun Detection preview by Box_v11_medium_train_SIXray_OPIXray No objects detected Detection preview by DN_Medium_300_yolov8m_20t7_new gun Detection preview by Segmentatation_v8_medium_train_250 gun Detection preview by Segmentation_V11_large_300_train_300 gun Detection preview by Segmentation_v8_large_300_train_300
Original Image: P08834.jpg
GT: gun, knife, pliers, wrench
gun, knife, pliers, wrench Detection preview by Box_v11_medium_train_SIXray_OPIXray No objects detected Detection preview by DN_Medium_300_yolov8m_20t7_new gun, knife, scissor, wrench Detection preview by Segmentatation_v8_medium_train_250 gun, knife, scissor, wrench Detection preview by Segmentation_V11_large_300_train_300 gun, knife, scissor, wrench Detection preview by Segmentation_v8_large_300_train_300
Original Image: P08835.jpg
GT: gun
gun Detection preview by Box_v11_medium_train_SIXray_OPIXray No objects detected Detection preview by DN_Medium_300_yolov8m_20t7_new gun Detection preview by Segmentatation_v8_medium_train_250 gun Detection preview by Segmentation_V11_large_300_train_300 gun Detection preview by Segmentation_v8_large_300_train_300
Original Image: P08836.jpg
GT: gun
gun Detection preview by Box_v11_medium_train_SIXray_OPIXray No objects detected Detection preview by DN_Medium_300_yolov8m_20t7_new gun Detection preview by Segmentatation_v8_medium_train_250 gun Detection preview by Segmentation_V11_large_300_train_300 gun Detection preview by Segmentation_v8_large_300_train_300
Original Image: P08837.jpg
GT: gun
gun Detection preview by Box_v11_medium_train_SIXray_OPIXray No objects detected Detection preview by DN_Medium_300_yolov8m_20t7_new gun Detection preview by Segmentatation_v8_medium_train_250 gun Detection preview by Segmentation_V11_large_300_train_300 gun Detection preview by Segmentation_v8_large_300_train_300
Original Image: P08838.jpg
GT: gun
gun Detection preview by Box_v11_medium_train_SIXray_OPIXray No objects detected Detection preview by DN_Medium_300_yolov8m_20t7_new gun Detection preview by Segmentatation_v8_medium_train_250 gun Detection preview by Segmentation_V11_large_300_train_300 gun Detection preview by Segmentation_v8_large_300_train_300
Original Image: P08839.jpg
GT: gun
gun Detection preview by Box_v11_medium_train_SIXray_OPIXray No objects detected Detection preview by DN_Medium_300_yolov8m_20t7_new gun Detection preview by Segmentatation_v8_medium_train_250 gun Detection preview by Segmentation_V11_large_300_train_300 gun Detection preview by Segmentation_v8_large_300_train_300
Original Image: P08840.jpg
GT: gun
gun Detection preview by Box_v11_medium_train_SIXray_OPIXray No objects detected Detection preview by DN_Medium_300_yolov8m_20t7_new gun Detection preview by Segmentatation_v8_medium_train_250 gun Detection preview by Segmentation_V11_large_300_train_300 gun Detection preview by Segmentation_v8_large_300_train_300
Original Image: P08841.jpg
GT: gun
gun Detection preview by Box_v11_medium_train_SIXray_OPIXray No objects detected Detection preview by DN_Medium_300_yolov8m_20t7_new gun Detection preview by Segmentatation_v8_medium_train_250 gun Detection preview by Segmentation_V11_large_300_train_300 gun Detection preview by Segmentation_v8_large_300_train_300
Original Image: P08842.jpg
GT: gun
gun Detection preview by Box_v11_medium_train_SIXray_OPIXray No objects detected Detection preview by DN_Medium_300_yolov8m_20t7_new gun, knife Detection preview by Segmentatation_v8_medium_train_250 gun, knife Detection preview by Segmentation_V11_large_300_train_300 gun, knife Detection preview by Segmentation_v8_large_300_train_300
Original Image: P08843.jpg
GT: gun
gun Detection preview by Box_v11_medium_train_SIXray_OPIXray No objects detected Detection preview by DN_Medium_300_yolov8m_20t7_new gun Detection preview by Segmentatation_v8_medium_train_250 gun Detection preview by Segmentation_V11_large_300_train_300 gun Detection preview by Segmentation_v8_large_300_train_300
Original Image: P08844.jpg
GT: gun
gun Detection preview by Box_v11_medium_train_SIXray_OPIXray No objects detected Detection preview by DN_Medium_300_yolov8m_20t7_new gun Detection preview by Segmentatation_v8_medium_train_250 gun Detection preview by Segmentation_V11_large_300_train_300 gun Detection preview by Segmentation_v8_large_300_train_300
Original Image: P08845.jpg
GT: gun, knife
gun, knife Detection preview by Box_v11_medium_train_SIXray_OPIXray gun, knife Detection preview by DN_Medium_300_yolov8m_20t7_new gun, knife Detection preview by Segmentatation_v8_medium_train_250 gun, knife Detection preview by Segmentation_V11_large_300_train_300 gun, knife Detection preview by Segmentation_v8_large_300_train_300
Original Image: P08846.jpg
GT: gun
gun Detection preview by Box_v11_medium_train_SIXray_OPIXray No objects detected Detection preview by DN_Medium_300_yolov8m_20t7_new gun Detection preview by Segmentatation_v8_medium_train_250 gun Detection preview by Segmentation_V11_large_300_train_300 gun Detection preview by Segmentation_v8_large_300_train_300
Original Image: P08847.jpg
GT: gun
gun Detection preview by Box_v11_medium_train_SIXray_OPIXray No objects detected Detection preview by DN_Medium_300_yolov8m_20t7_new gun Detection preview by Segmentatation_v8_medium_train_250 gun Detection preview by Segmentation_V11_large_300_train_300 gun Detection preview by Segmentation_v8_large_300_train_300
Original Image: P08848.jpg
GT: gun
gun Detection preview by Box_v11_medium_train_SIXray_OPIXray No objects detected Detection preview by DN_Medium_300_yolov8m_20t7_new gun Detection preview by Segmentatation_v8_medium_train_250 gun Detection preview by Segmentation_V11_large_300_train_300 gun Detection preview by Segmentation_v8_large_300_train_300
Original Image: P08849.jpg
GT: gun, knife
gun, knife Detection preview by Box_v11_medium_train_SIXray_OPIXray gun Detection preview by DN_Medium_300_yolov8m_20t7_new gun, knife, scissor Detection preview by Segmentatation_v8_medium_train_250 gun, knife, scissor Detection preview by Segmentation_V11_large_300_train_300 gun, knife, scissor Detection preview by Segmentation_v8_large_300_train_300
Original Image: P08850.jpg
GT: gun, knife
gun, knife Detection preview by Box_v11_medium_train_SIXray_OPIXray gun Detection preview by DN_Medium_300_yolov8m_20t7_new gun, knife, scissor Detection preview by Segmentatation_v8_medium_train_250 gun, knife, scissor Detection preview by Segmentation_V11_large_300_train_300 gun, knife, scissor Detection preview by Segmentation_v8_large_300_train_300
Original Image: P08851.jpg
GT: gun, knife
gun, knife Detection preview by Box_v11_medium_train_SIXray_OPIXray gun Detection preview by DN_Medium_300_yolov8m_20t7_new gun, knife, scissor Detection preview by Segmentatation_v8_medium_train_250 gun, knife, scissor Detection preview by Segmentation_V11_large_300_train_300 gun, knife, scissor Detection preview by Segmentation_v8_large_300_train_300
Original Image: P08852.jpg
GT: gun
gun Detection preview by Box_v11_medium_train_SIXray_OPIXray No objects detected Detection preview by DN_Medium_300_yolov8m_20t7_new gun Detection preview by Segmentatation_v8_medium_train_250 gun Detection preview by Segmentation_V11_large_300_train_300 gun Detection preview by Segmentation_v8_large_300_train_300
Original Image: P08853.jpg
GT: gun
gun Detection preview by Box_v11_medium_train_SIXray_OPIXray No objects detected Detection preview by DN_Medium_300_yolov8m_20t7_new gun Detection preview by Segmentatation_v8_medium_train_250 gun Detection preview by Segmentation_V11_large_300_train_300 gun Detection preview by Segmentation_v8_large_300_train_300
Original Image: P08854.jpg
GT: gun
gun Detection preview by Box_v11_medium_train_SIXray_OPIXray No objects detected Detection preview by DN_Medium_300_yolov8m_20t7_new gun Detection preview by Segmentatation_v8_medium_train_250 gun Detection preview by Segmentation_V11_large_300_train_300 gun Detection preview by Segmentation_v8_large_300_train_300
Original Image: P08855.jpg
GT: gun
gun Detection preview by Box_v11_medium_train_SIXray_OPIXray No objects detected Detection preview by DN_Medium_300_yolov8m_20t7_new gun Detection preview by Segmentatation_v8_medium_train_250 gun Detection preview by Segmentation_V11_large_300_train_300 gun Detection preview by Segmentation_v8_large_300_train_300
Original Image: P08856.jpg
GT: gun
gun Detection preview by Box_v11_medium_train_SIXray_OPIXray No objects detected Detection preview by DN_Medium_300_yolov8m_20t7_new gun Detection preview by Segmentatation_v8_medium_train_250 gun Detection preview by Segmentation_V11_large_300_train_300 gun Detection preview by Segmentation_v8_large_300_train_300
Original Image: P08857.jpg
GT: gun, knife
gun, knife Detection preview by Box_v11_medium_train_SIXray_OPIXray No objects detected Detection preview by DN_Medium_300_yolov8m_20t7_new gun, knife Detection preview by Segmentatation_v8_medium_train_250 gun, knife Detection preview by Segmentation_V11_large_300_train_300 gun, knife Detection preview by Segmentation_v8_large_300_train_300
Original Image: P08858.jpg
GT: gun
gun Detection preview by Box_v11_medium_train_SIXray_OPIXray No objects detected Detection preview by DN_Medium_300_yolov8m_20t7_new gun Detection preview by Segmentatation_v8_medium_train_250 gun Detection preview by Segmentation_V11_large_300_train_300 gun Detection preview by Segmentation_v8_large_300_train_300
Original Image: P08859.jpg
GT: gun
gun Detection preview by Box_v11_medium_train_SIXray_OPIXray No objects detected Detection preview by DN_Medium_300_yolov8m_20t7_new gun Detection preview by Segmentatation_v8_medium_train_250 gun Detection preview by Segmentation_V11_large_300_train_300 gun Detection preview by Segmentation_v8_large_300_train_300
Original Image: P08860.jpg
GT: gun
gun Detection preview by Box_v11_medium_train_SIXray_OPIXray No objects detected Detection preview by DN_Medium_300_yolov8m_20t7_new gun, wrench Detection preview by Segmentatation_v8_medium_train_250 gun Detection preview by Segmentation_V11_large_300_train_300 gun Detection preview by Segmentation_v8_large_300_train_300
Original Image: P08861.jpg
GT: gun
gun Detection preview by Box_v11_medium_train_SIXray_OPIXray No objects detected Detection preview by DN_Medium_300_yolov8m_20t7_new gun Detection preview by Segmentatation_v8_medium_train_250 gun Detection preview by Segmentation_V11_large_300_train_300 gun Detection preview by Segmentation_v8_large_300_train_300
Original Image: P08862.jpg
GT: gun
gun Detection preview by Box_v11_medium_train_SIXray_OPIXray No objects detected Detection preview by DN_Medium_300_yolov8m_20t7_new gun Detection preview by Segmentatation_v8_medium_train_250 gun Detection preview by Segmentation_V11_large_300_train_300 gun Detection preview by Segmentation_v8_large_300_train_300
Original Image: P08863.jpg
GT: gun
gun Detection preview by Box_v11_medium_train_SIXray_OPIXray No objects detected Detection preview by DN_Medium_300_yolov8m_20t7_new gun Detection preview by Segmentatation_v8_medium_train_250 gun Detection preview by Segmentation_V11_large_300_train_300 gun Detection preview by Segmentation_v8_large_300_train_300
Original Image: P08864.jpg
GT: gun
gun Detection preview by Box_v11_medium_train_SIXray_OPIXray No objects detected Detection preview by DN_Medium_300_yolov8m_20t7_new gun Detection preview by Segmentatation_v8_medium_train_250 gun Detection preview by Segmentation_V11_large_300_train_300 gun Detection preview by Segmentation_v8_large_300_train_300
Original Image: P08865.jpg
GT: gun
gun Detection preview by Box_v11_medium_train_SIXray_OPIXray No objects detected Detection preview by DN_Medium_300_yolov8m_20t7_new gun Detection preview by Segmentatation_v8_medium_train_250 gun Detection preview by Segmentation_V11_large_300_train_300 gun Detection preview by Segmentation_v8_large_300_train_300
Original Image: P08866.jpg
GT: gun, knife
gun, knife Detection preview by Box_v11_medium_train_SIXray_OPIXray gun, scissor Detection preview by DN_Medium_300_yolov8m_20t7_new gun, scissor Detection preview by Segmentatation_v8_medium_train_250 gun, scissor Detection preview by Segmentation_V11_large_300_train_300 gun, scissor Detection preview by Segmentation_v8_large_300_train_300
Original Image: P08867.jpg
GT: gun, knife
gun, knife Detection preview by Box_v11_medium_train_SIXray_OPIXray scissor Detection preview by DN_Medium_300_yolov8m_20t7_new gun, knife Detection preview by Segmentatation_v8_medium_train_250 gun, knife Detection preview by Segmentation_V11_large_300_train_300 gun, knife Detection preview by Segmentation_v8_large_300_train_300
Original Image: P08868.jpg
GT: gun
gun Detection preview by Box_v11_medium_train_SIXray_OPIXray No objects detected Detection preview by DN_Medium_300_yolov8m_20t7_new gun Detection preview by Segmentatation_v8_medium_train_250 gun Detection preview by Segmentation_V11_large_300_train_300 gun Detection preview by Segmentation_v8_large_300_train_300
Original Image: P08869.jpg
GT: gun
gun Detection preview by Box_v11_medium_train_SIXray_OPIXray No objects detected Detection preview by DN_Medium_300_yolov8m_20t7_new gun Detection preview by Segmentatation_v8_medium_train_250 gun Detection preview by Segmentation_V11_large_300_train_300 gun Detection preview by Segmentation_v8_large_300_train_300
Original Image: P08870.jpg
GT: gun
gun Detection preview by Box_v11_medium_train_SIXray_OPIXray No objects detected Detection preview by DN_Medium_300_yolov8m_20t7_new gun Detection preview by Segmentatation_v8_medium_train_250 gun Detection preview by Segmentation_V11_large_300_train_300 gun Detection preview by Segmentation_v8_large_300_train_300
Original Image: P08871.jpg
GT: gun
gun Detection preview by Box_v11_medium_train_SIXray_OPIXray No objects detected Detection preview by DN_Medium_300_yolov8m_20t7_new gun Detection preview by Segmentatation_v8_medium_train_250 gun Detection preview by Segmentation_V11_large_300_train_300 gun Detection preview by Segmentation_v8_large_300_train_300
Original Image: P08872.jpg
GT: gun
gun Detection preview by Box_v11_medium_train_SIXray_OPIXray No objects detected Detection preview by DN_Medium_300_yolov8m_20t7_new gun Detection preview by Segmentatation_v8_medium_train_250 gun Detection preview by Segmentation_V11_large_300_train_300 gun Detection preview by Segmentation_v8_large_300_train_300
Original Image: P08873.jpg
GT: gun
gun Detection preview by Box_v11_medium_train_SIXray_OPIXray No objects detected Detection preview by DN_Medium_300_yolov8m_20t7_new gun Detection preview by Segmentatation_v8_medium_train_250 gun Detection preview by Segmentation_V11_large_300_train_300 gun Detection preview by Segmentation_v8_large_300_train_300
Original Image: P08874.jpg
GT: knife
knife Detection preview by Box_v11_medium_train_SIXray_OPIXray No objects detected Detection preview by DN_Medium_300_yolov8m_20t7_new scissor Detection preview by Segmentatation_v8_medium_train_250 scissor Detection preview by Segmentation_V11_large_300_train_300 scissor Detection preview by Segmentation_v8_large_300_train_300
Original Image: P08875.jpg
GT: gun
gun Detection preview by Box_v11_medium_train_SIXray_OPIXray gun Detection preview by DN_Medium_300_yolov8m_20t7_new gun Detection preview by Segmentatation_v8_medium_train_250 gun Detection preview by Segmentation_V11_large_300_train_300 gun Detection preview by Segmentation_v8_large_300_train_300
Original Image: P08876.jpg
GT: gun
gun Detection preview by Box_v11_medium_train_SIXray_OPIXray No objects detected Detection preview by DN_Medium_300_yolov8m_20t7_new gun Detection preview by Segmentatation_v8_medium_train_250 gun Detection preview by Segmentation_V11_large_300_train_300 gun Detection preview by Segmentation_v8_large_300_train_300
Original Image: P08877.jpg
GT: gun, wrench
gun, wrench Detection preview by Box_v11_medium_train_SIXray_OPIXray No objects detected Detection preview by DN_Medium_300_yolov8m_20t7_new gun, wrench Detection preview by Segmentatation_v8_medium_train_250 gun, wrench Detection preview by Segmentation_V11_large_300_train_300 gun, wrench Detection preview by Segmentation_v8_large_300_train_300
Original Image: P08878.jpg
GT: gun, knife
gun, knife Detection preview by Box_v11_medium_train_SIXray_OPIXray No objects detected Detection preview by DN_Medium_300_yolov8m_20t7_new gun, knife Detection preview by Segmentatation_v8_medium_train_250 gun, knife Detection preview by Segmentation_V11_large_300_train_300 gun, knife Detection preview by Segmentation_v8_large_300_train_300
Original Image: P08879.jpg
GT: gun
gun Detection preview by Box_v11_medium_train_SIXray_OPIXray No objects detected Detection preview by DN_Medium_300_yolov8m_20t7_new gun Detection preview by Segmentatation_v8_medium_train_250 gun Detection preview by Segmentation_V11_large_300_train_300 gun Detection preview by Segmentation_v8_large_300_train_300
Original Image: P08880.jpg
GT: gun
gun Detection preview by Box_v11_medium_train_SIXray_OPIXray No objects detected Detection preview by DN_Medium_300_yolov8m_20t7_new gun Detection preview by Segmentatation_v8_medium_train_250 gun Detection preview by Segmentation_V11_large_300_train_300 gun Detection preview by Segmentation_v8_large_300_train_300
Original Image: P08881.jpg
GT: gun
gun Detection preview by Box_v11_medium_train_SIXray_OPIXray No objects detected Detection preview by DN_Medium_300_yolov8m_20t7_new gun Detection preview by Segmentatation_v8_medium_train_250 gun Detection preview by Segmentation_V11_large_300_train_300 gun Detection preview by Segmentation_v8_large_300_train_300
Original Image: P08882.jpg
GT: gun, knife, wrench
gun, knife, wrench Detection preview by Box_v11_medium_train_SIXray_OPIXray wrench Detection preview by DN_Medium_300_yolov8m_20t7_new gun, scissor, wrench Detection preview by Segmentatation_v8_medium_train_250 gun, scissor, wrench Detection preview by Segmentation_V11_large_300_train_300 gun, scissor, wrench Detection preview by Segmentation_v8_large_300_train_300
Original Image: P08883.jpg
GT: gun
gun Detection preview by Box_v11_medium_train_SIXray_OPIXray No objects detected Detection preview by DN_Medium_300_yolov8m_20t7_new gun Detection preview by Segmentatation_v8_medium_train_250 gun Detection preview by Segmentation_V11_large_300_train_300 gun Detection preview by Segmentation_v8_large_300_train_300
Original Image: P08884.jpg
GT: gun
gun Detection preview by Box_v11_medium_train_SIXray_OPIXray No objects detected Detection preview by DN_Medium_300_yolov8m_20t7_new gun Detection preview by Segmentatation_v8_medium_train_250 gun Detection preview by Segmentation_V11_large_300_train_300 gun Detection preview by Segmentation_v8_large_300_train_300
Original Image: P08885.jpg
GT: gun, knife, pliers, wrench
gun, knife, pliers, wrench Detection preview by Box_v11_medium_train_SIXray_OPIXray No objects detected Detection preview by DN_Medium_300_yolov8m_20t7_new gun, knife, wrench Detection preview by Segmentatation_v8_medium_train_250 gun, knife, wrench Detection preview by Segmentation_V11_large_300_train_300 gun, knife, wrench Detection preview by Segmentation_v8_large_300_train_300
Original Image: P08886.jpg
GT: gun
gun Detection preview by Box_v11_medium_train_SIXray_OPIXray No objects detected Detection preview by DN_Medium_300_yolov8m_20t7_new gun Detection preview by Segmentatation_v8_medium_train_250 gun Detection preview by Segmentation_V11_large_300_train_300 gun Detection preview by Segmentation_v8_large_300_train_300
Original Image: P08887.jpg
GT: gun
gun Detection preview by Box_v11_medium_train_SIXray_OPIXray No objects detected Detection preview by DN_Medium_300_yolov8m_20t7_new gun Detection preview by Segmentatation_v8_medium_train_250 gun Detection preview by Segmentation_V11_large_300_train_300 gun Detection preview by Segmentation_v8_large_300_train_300
Original Image: P08888.jpg
GT: gun
gun Detection preview by Box_v11_medium_train_SIXray_OPIXray No objects detected Detection preview by DN_Medium_300_yolov8m_20t7_new gun Detection preview by Segmentatation_v8_medium_train_250 gun Detection preview by Segmentation_V11_large_300_train_300 gun Detection preview by Segmentation_v8_large_300_train_300
Original Image: P08889.jpg
GT: gun
gun Detection preview by Box_v11_medium_train_SIXray_OPIXray No objects detected Detection preview by DN_Medium_300_yolov8m_20t7_new gun Detection preview by Segmentatation_v8_medium_train_250 gun Detection preview by Segmentation_V11_large_300_train_300 gun Detection preview by Segmentation_v8_large_300_train_300
Original Image: P08890.jpg
GT: gun
gun Detection preview by Box_v11_medium_train_SIXray_OPIXray No objects detected Detection preview by DN_Medium_300_yolov8m_20t7_new gun Detection preview by Segmentatation_v8_medium_train_250 gun Detection preview by Segmentation_V11_large_300_train_300 gun Detection preview by Segmentation_v8_large_300_train_300
Original Image: P08891.jpg
GT: gun
gun Detection preview by Box_v11_medium_train_SIXray_OPIXray No objects detected Detection preview by DN_Medium_300_yolov8m_20t7_new gun Detection preview by Segmentatation_v8_medium_train_250 gun Detection preview by Segmentation_V11_large_300_train_300 gun Detection preview by Segmentation_v8_large_300_train_300
Original Image: P08892.jpg
GT: gun
gun Detection preview by Box_v11_medium_train_SIXray_OPIXray No objects detected Detection preview by DN_Medium_300_yolov8m_20t7_new gun Detection preview by Segmentatation_v8_medium_train_250 gun Detection preview by Segmentation_V11_large_300_train_300 gun Detection preview by Segmentation_v8_large_300_train_300
Original Image: P08893.jpg
GT: gun
gun Detection preview by Box_v11_medium_train_SIXray_OPIXray No objects detected Detection preview by DN_Medium_300_yolov8m_20t7_new gun, knife Detection preview by Segmentatation_v8_medium_train_250 gun, knife Detection preview by Segmentation_V11_large_300_train_300 gun, knife Detection preview by Segmentation_v8_large_300_train_300
Original Image: P08894.jpg
GT: gun
gun Detection preview by Box_v11_medium_train_SIXray_OPIXray No objects detected Detection preview by DN_Medium_300_yolov8m_20t7_new gun Detection preview by Segmentatation_v8_medium_train_250 gun Detection preview by Segmentation_V11_large_300_train_300 gun Detection preview by Segmentation_v8_large_300_train_300
Original Image: P08895.jpg
GT: gun
gun Detection preview by Box_v11_medium_train_SIXray_OPIXray No objects detected Detection preview by DN_Medium_300_yolov8m_20t7_new gun Detection preview by Segmentatation_v8_medium_train_250 gun Detection preview by Segmentation_V11_large_300_train_300 gun Detection preview by Segmentation_v8_large_300_train_300
Original Image: P08896.jpg
GT: gun, knife
gun, knife Detection preview by Box_v11_medium_train_SIXray_OPIXray gun, knife Detection preview by DN_Medium_300_yolov8m_20t7_new gun, knife Detection preview by Segmentatation_v8_medium_train_250 gun, knife Detection preview by Segmentation_V11_large_300_train_300 gun, knife Detection preview by Segmentation_v8_large_300_train_300
Original Image: P08897.jpg
GT: gun
gun Detection preview by Box_v11_medium_train_SIXray_OPIXray No objects detected Detection preview by DN_Medium_300_yolov8m_20t7_new gun Detection preview by Segmentatation_v8_medium_train_250 gun Detection preview by Segmentation_V11_large_300_train_300 gun Detection preview by Segmentation_v8_large_300_train_300
Original Image: P08898.jpg
GT: gun
gun Detection preview by Box_v11_medium_train_SIXray_OPIXray No objects detected Detection preview by DN_Medium_300_yolov8m_20t7_new gun Detection preview by Segmentatation_v8_medium_train_250 gun Detection preview by Segmentation_V11_large_300_train_300 gun Detection preview by Segmentation_v8_large_300_train_300
Original Image: P08899.jpg
GT: gun
gun Detection preview by Box_v11_medium_train_SIXray_OPIXray No objects detected Detection preview by DN_Medium_300_yolov8m_20t7_new gun Detection preview by Segmentatation_v8_medium_train_250 gun Detection preview by Segmentation_V11_large_300_train_300 gun Detection preview by Segmentation_v8_large_300_train_300
Original Image: P08900.jpg
GT: gun, scissors
gun, scissor Detection preview by Box_v11_medium_train_SIXray_OPIXray pliers Detection preview by DN_Medium_300_yolov8m_20t7_new gun, knife, scissor Detection preview by Segmentatation_v8_medium_train_250 gun, knife, scissor Detection preview by Segmentation_V11_large_300_train_300 gun, knife, scissor Detection preview by Segmentation_v8_large_300_train_300
Original Image: P08901.jpg
GT: gun, scissors
gun, scissor Detection preview by Box_v11_medium_train_SIXray_OPIXray pliers Detection preview by DN_Medium_300_yolov8m_20t7_new gun, knife, scissor Detection preview by Segmentatation_v8_medium_train_250 gun, knife, scissor Detection preview by Segmentation_V11_large_300_train_300 gun, knife, scissor Detection preview by Segmentation_v8_large_300_train_300
Original Image: P08902.jpg
GT: gun, scissors
gun, scissor Detection preview by Box_v11_medium_train_SIXray_OPIXray gun, pliers Detection preview by DN_Medium_300_yolov8m_20t7_new gun, knife, scissor Detection preview by Segmentatation_v8_medium_train_250 gun, knife, scissor Detection preview by Segmentation_V11_large_300_train_300 gun, knife, scissor Detection preview by Segmentation_v8_large_300_train_300
Original Image: P08903.jpg
GT: gun
gun Detection preview by Box_v11_medium_train_SIXray_OPIXray No objects detected Detection preview by DN_Medium_300_yolov8m_20t7_new gun Detection preview by Segmentatation_v8_medium_train_250 gun Detection preview by Segmentation_V11_large_300_train_300 gun Detection preview by Segmentation_v8_large_300_train_300
Original Image: P08904.jpg
GT: gun
gun Detection preview by Box_v11_medium_train_SIXray_OPIXray No objects detected Detection preview by DN_Medium_300_yolov8m_20t7_new gun Detection preview by Segmentatation_v8_medium_train_250 gun Detection preview by Segmentation_V11_large_300_train_300 gun Detection preview by Segmentation_v8_large_300_train_300
Original Image: P08905.jpg
GT: gun
gun Detection preview by Box_v11_medium_train_SIXray_OPIXray No objects detected Detection preview by DN_Medium_300_yolov8m_20t7_new gun Detection preview by Segmentatation_v8_medium_train_250 gun Detection preview by Segmentation_V11_large_300_train_300 gun Detection preview by Segmentation_v8_large_300_train_300
Original Image: P08906.jpg
GT: gun
gun Detection preview by Box_v11_medium_train_SIXray_OPIXray No objects detected Detection preview by DN_Medium_300_yolov8m_20t7_new gun Detection preview by Segmentatation_v8_medium_train_250 gun Detection preview by Segmentation_V11_large_300_train_300 gun Detection preview by Segmentation_v8_large_300_train_300
Original Image: P08907.jpg
GT: gun
gun Detection preview by Box_v11_medium_train_SIXray_OPIXray No objects detected Detection preview by DN_Medium_300_yolov8m_20t7_new gun Detection preview by Segmentatation_v8_medium_train_250 gun Detection preview by Segmentation_V11_large_300_train_300 gun Detection preview by Segmentation_v8_large_300_train_300
Original Image: P08908.jpg
GT: gun, knife
gun, knife Detection preview by Box_v11_medium_train_SIXray_OPIXray No objects detected Detection preview by DN_Medium_300_yolov8m_20t7_new gun, knife Detection preview by Segmentatation_v8_medium_train_250 gun, knife Detection preview by Segmentation_V11_large_300_train_300 gun, knife Detection preview by Segmentation_v8_large_300_train_300
Original Image: P08909.jpg
GT: gun
gun Detection preview by Box_v11_medium_train_SIXray_OPIXray No objects detected Detection preview by DN_Medium_300_yolov8m_20t7_new gun Detection preview by Segmentatation_v8_medium_train_250 gun Detection preview by Segmentation_V11_large_300_train_300 gun Detection preview by Segmentation_v8_large_300_train_300
Original Image: P08910.jpg
GT: gun
gun Detection preview by Box_v11_medium_train_SIXray_OPIXray No objects detected Detection preview by DN_Medium_300_yolov8m_20t7_new gun Detection preview by Segmentatation_v8_medium_train_250 gun Detection preview by Segmentation_V11_large_300_train_300 gun Detection preview by Segmentation_v8_large_300_train_300
Original Image: P08911.jpg
GT: gun
gun Detection preview by Box_v11_medium_train_SIXray_OPIXray No objects detected Detection preview by DN_Medium_300_yolov8m_20t7_new gun, knife Detection preview by Segmentatation_v8_medium_train_250 gun Detection preview by Segmentation_V11_large_300_train_300 gun, wrench Detection preview by Segmentation_v8_large_300_train_300
Original Image: P08912.jpg
GT: gun
gun Detection preview by Box_v11_medium_train_SIXray_OPIXray No objects detected Detection preview by DN_Medium_300_yolov8m_20t7_new gun Detection preview by Segmentatation_v8_medium_train_250 gun Detection preview by Segmentation_V11_large_300_train_300 gun Detection preview by Segmentation_v8_large_300_train_300
Original Image: P08913.jpg
GT: gun
gun Detection preview by Box_v11_medium_train_SIXray_OPIXray No objects detected Detection preview by DN_Medium_300_yolov8m_20t7_new gun Detection preview by Segmentatation_v8_medium_train_250 gun Detection preview by Segmentation_V11_large_300_train_300 gun Detection preview by Segmentation_v8_large_300_train_300
Original Image: P08914.jpg
GT: gun
gun Detection preview by Box_v11_medium_train_SIXray_OPIXray gun Detection preview by DN_Medium_300_yolov8m_20t7_new gun Detection preview by Segmentatation_v8_medium_train_250 gun Detection preview by Segmentation_V11_large_300_train_300 gun Detection preview by Segmentation_v8_large_300_train_300
Original Image: P08915.jpg
GT: gun
gun Detection preview by Box_v11_medium_train_SIXray_OPIXray No objects detected Detection preview by DN_Medium_300_yolov8m_20t7_new gun Detection preview by Segmentatation_v8_medium_train_250 gun Detection preview by Segmentation_V11_large_300_train_300 gun Detection preview by Segmentation_v8_large_300_train_300
Original Image: P08916.jpg
GT: gun
gun Detection preview by Box_v11_medium_train_SIXray_OPIXray No objects detected Detection preview by DN_Medium_300_yolov8m_20t7_new gun Detection preview by Segmentatation_v8_medium_train_250 gun Detection preview by Segmentation_V11_large_300_train_300 gun Detection preview by Segmentation_v8_large_300_train_300
Original Image: P08917.jpg
GT: gun, knife
gun, knife Detection preview by Box_v11_medium_train_SIXray_OPIXray scissor Detection preview by DN_Medium_300_yolov8m_20t7_new gun, scissor Detection preview by Segmentatation_v8_medium_train_250 gun, scissor Detection preview by Segmentation_V11_large_300_train_300 gun, scissor Detection preview by Segmentation_v8_large_300_train_300
Original Image: P08918.jpg
GT: gun, knife
gun, knife Detection preview by Box_v11_medium_train_SIXray_OPIXray gun, scissor Detection preview by DN_Medium_300_yolov8m_20t7_new gun, knife Detection preview by Segmentatation_v8_medium_train_250 gun, knife Detection preview by Segmentation_V11_large_300_train_300 gun, knife Detection preview by Segmentation_v8_large_300_train_300
Original Image: P08919.jpg
GT: gun
gun Detection preview by Box_v11_medium_train_SIXray_OPIXray No objects detected Detection preview by DN_Medium_300_yolov8m_20t7_new gun Detection preview by Segmentatation_v8_medium_train_250 gun Detection preview by Segmentation_V11_large_300_train_300 gun Detection preview by Segmentation_v8_large_300_train_300
Original Image: P08920.jpg
GT: gun
gun Detection preview by Box_v11_medium_train_SIXray_OPIXray No objects detected Detection preview by DN_Medium_300_yolov8m_20t7_new gun Detection preview by Segmentatation_v8_medium_train_250 gun Detection preview by Segmentation_V11_large_300_train_300 gun Detection preview by Segmentation_v8_large_300_train_300
Original Image: P08921.jpg
GT: gun
gun Detection preview by Box_v11_medium_train_SIXray_OPIXray No objects detected Detection preview by DN_Medium_300_yolov8m_20t7_new gun Detection preview by Segmentatation_v8_medium_train_250 gun Detection preview by Segmentation_V11_large_300_train_300 gun Detection preview by Segmentation_v8_large_300_train_300
Original Image: P08922.jpg
GT: gun
gun Detection preview by Box_v11_medium_train_SIXray_OPIXray No objects detected Detection preview by DN_Medium_300_yolov8m_20t7_new gun Detection preview by Segmentatation_v8_medium_train_250 gun Detection preview by Segmentation_V11_large_300_train_300 gun Detection preview by Segmentation_v8_large_300_train_300
Original Image: P08923.jpg
GT: gun
gun Detection preview by Box_v11_medium_train_SIXray_OPIXray No objects detected Detection preview by DN_Medium_300_yolov8m_20t7_new gun Detection preview by Segmentatation_v8_medium_train_250 gun Detection preview by Segmentation_V11_large_300_train_300 gun Detection preview by Segmentation_v8_large_300_train_300
Original Image: P08924.jpg
GT: gun
gun Detection preview by Box_v11_medium_train_SIXray_OPIXray No objects detected Detection preview by DN_Medium_300_yolov8m_20t7_new gun Detection preview by Segmentatation_v8_medium_train_250 gun Detection preview by Segmentation_V11_large_300_train_300 gun Detection preview by Segmentation_v8_large_300_train_300
Original Image: P08925.jpg
GT: knife
knife Detection preview by Box_v11_medium_train_SIXray_OPIXray No objects detected Detection preview by DN_Medium_300_yolov8m_20t7_new scissor Detection preview by Segmentatation_v8_medium_train_250 No objects detected Detection preview by Segmentation_V11_large_300_train_300 No objects detected Detection preview by Segmentation_v8_large_300_train_300
Original Image: P08926.jpg
GT: gun
gun Detection preview by Box_v11_medium_train_SIXray_OPIXray gun, knife Detection preview by DN_Medium_300_yolov8m_20t7_new gun Detection preview by Segmentatation_v8_medium_train_250 gun Detection preview by Segmentation_V11_large_300_train_300 gun Detection preview by Segmentation_v8_large_300_train_300
Original Image: P08927.jpg
GT: gun
gun Detection preview by Box_v11_medium_train_SIXray_OPIXray No objects detected Detection preview by DN_Medium_300_yolov8m_20t7_new gun Detection preview by Segmentatation_v8_medium_train_250 gun Detection preview by Segmentation_V11_large_300_train_300 gun Detection preview by Segmentation_v8_large_300_train_300
Original Image: P08928.jpg
GT: gun, wrench
gun, wrench Detection preview by Box_v11_medium_train_SIXray_OPIXray No objects detected Detection preview by DN_Medium_300_yolov8m_20t7_new gun, wrench Detection preview by Segmentatation_v8_medium_train_250 gun, wrench Detection preview by Segmentation_V11_large_300_train_300 gun, wrench Detection preview by Segmentation_v8_large_300_train_300
Original Image: P08929.jpg
GT: gun, knife
gun, knife Detection preview by Box_v11_medium_train_SIXray_OPIXray No objects detected Detection preview by DN_Medium_300_yolov8m_20t7_new gun, knife Detection preview by Segmentatation_v8_medium_train_250 gun, knife Detection preview by Segmentation_V11_large_300_train_300 gun, knife Detection preview by Segmentation_v8_large_300_train_300